Zoneomics Logo
search icon

Rib Falls Town City Zoning Code

Title 9

- DEFINITIONS

Sec. 17.901. - General.

17.901.01.

Rules of construction. The following rules of construction shall apply to the text of this Ordinance:

A.

The particular shall control the general.

B.

In the case of any difference of meaning or implication between the text of this Ordinance and any caption or illustration, the text shall control.

C.

The word "shall" is always mandatory and not discretionary. The words "may" or "should" are permissive and discretionary.

D.

Words used in the present tense shall include the future, and words used in the singular number shall include the plural, and the plural the singular, unless the context clearly indicates the contrary.

E.

A "building" or "structure" includes any part thereof. The word "dwelling" includes "residence". The word "lot" includes the words "plot" or "parcel".

F.

The phrase "used for" includes "arranged for," "designed for," "intended for," "maintained for" or "occupied for."

G.

The word "person" includes an individual, a patron, a firm, an association, an organization, a corporation (public or private), a partnership or co-partnership, a limited liability company, an incorporated or unincorporated association, a trust, or any other entity recognizable as a "person" under the laws of Wisconsin.

H.

Unless the context clearly indicates the contrary, where a regulation involves two or more items, conditions, provisions or events connected by the conjunction "and," "or" or "either ... or," the conjunction shall be interpreted as follows:

1.

"And" indicates that all the connected items, conditions, provisions or events shall apply.

2.

"Or" indicates that all the connected items, conditions, provisions or events shall apply singly or in any combination (i.e., "or" also means "and/or").

3.

"Either ... or" indicates that the connected items, conditions, provisions or events may apply singly.

I.

The terms "this Zoning Ordinance" or "this Ordinance" includes the Zoning Ordinance of the County of Marathon and any amendments there to.

J.

The terms "abutting" or "adjacent to" include property "across from", such as across a street, alley, or an easement. This term shall also apply to adjacent zoning districts in an adjacent community.

K.

The word "he" includes "she."

L.

The phrase "such as" shall mean "such as, but not limited to."

M.

The word "including" shall mean "including, but not limited to."

N.

Terms not defined in Title 9 (Definitions), or elsewhere in this Ordinance shall have the meaning customarily assigned to them.

(O-34-23)

Sec. 17.902. - General definitions.

As used in this zoning ordinance, certain terms are defined as follows:

Abandoned Sign. A sign which no longer correctly advertises or directs a person to a bona fide business, person, goods, product, activity, or service. A sign is considered abandoned if:

1.

It does not display a well-maintained message for a consecutive 60-day period;

2.

The use to which the sign is accessory is discontinued or terminated for more than 180 consecutive days;

3.

The owner of the sign cannot be located at the owner's last known address as reflected on the records of the County; or

4.

A structure designed to support a sign no longer supports the sign for a period of 30 consecutive days.

Abandonment of mining has the meaning given in NR 132.03(1).

Accessory Building or Use. A subordinate building or use that is intended to be used in a manner that is clearly incidental to, customarily found in connection with, subordinate to, and located on the same lot or parcel as the principal use to which it is exclusively related.

Accessory Sign. A sign that is subordinate to the main use on a lot and used for purposes clearly incidental to those of the main use.

Adult Entertainment. Any business which primarily features sexually oriented or sexually stimulating material and/or performances, including the following: adult arcade, adult bookstore, adult novelty store, adult video store, adult cabaret, adult massage parlor, adult motion picture theater, adult theater, escort agency, nude model studio, or sexual encounter center or similar establishment or any place that permits patrons to be filmed or photographed performing "sexually explicit activities" or displaying "specified anatomical areas" for electronic transmission over the wireless device, the internet, film, motion picture, videocassette, DVD or other photographic reproduction.

"Sexually oriented" when used to describe film, motion picture, videocassette, DVD, slides, or other photographic reproductions shall mean film, movies, motion picture, videocassette, DVD, slides or other photographic reproductions that regularly depict material which is distinguished or characterized by an emphasis on matter depicting or describing "sexually explicit activities" or "specified anatomical areas" offered for observation by the patron(s) on the premises of a sexually oriented business. The definition of "adult entertainment use" shall not include an establishment where a medical practitioner, psychologist, psychiatrist or similar professional person licensed by the State engages in medically approved and recognized sexual therapy.

Terms relating to adult entertainment uses are further defined as follows:

1.

Adult Arcade. Any place to which the public is permitted or invited where either or both (i) motion picture machines, projectors, video or laser disc players, or (ii) other video or image-producing devices are available, run via coin, token or any form of consideration, to show images to five or fewer persons at one time; and where the images shown and/or live entertainment presented are characterized by the depiction or description of specified sexual activities or specified anatomical areas.

2.

Adult Bookstore, Adult Novelty Store, or Adult Video Store. A commercial establishment which, as one of its principal business purposes, offers for sale or rental for any form of consideration one or more of the following:

a.

Books, magazines, periodicals or other printed matter, or photographs, films, motion pictures, video cassettes or video reproductions, slides, or other visual representations that are characterized by the depiction or description of "specified sexual activities" or "specified anatomical areas"; or

b.

Instruments, devices, or paraphernalia, other than prophylactics, that are designed for use in connection with specified sexual activities.

A commercial establishment may have other principal business purposes that do not involve the offering for sale or rental of material depicting or describing "specified sexual activities" or "specified anatomical areas" and still be categorized as "adult bookstore, adult novelty store, or adult video store" so long as one of its principal business purposes is the offering for sale or rental for consideration the specified materials which are characterized by the depiction or description of "specified sexual activities" or "specified anatomical areas".

3.

Adult Cabaret. A nightclub, bar, restaurant, or similar commercial establishment that regularly features:

a.

Persons who appear in a state of semi-nudity;

b.

Live entertainment characterized by the depiction or description of specified anatomical areas or specified sexual activities;

c.

Live entertainment of an erotic nature including exotic dancers, strippers, male or female impersonators, or similar entertainment; or

d.

Films, motion pictures, video cassettes, slides or other photographic reproductions that are characterized by the depiction or description of specified sexual activities or specified anatomical areas.

4.

Adult Massage Parlor. Any place where, for any form of consideration or gratuity, massage, alcohol rub, administration of fomentations, electric or magnetic treatments, or any other manipulation of the human body occurs as part of or in connection with specified sexual activities, or where any person providing such treatment, manipulation, or service related thereto, exposes his or her specified anatomical areas. An Adult Massage Parlor, in contrast to a Myotherapy Establishment, is considered a sexually oriented business for purposes of these regulations.

5.

Massage. The treating of external parts of the body for remedial or hygienic purposes, consisting of stroking, kneading, rubbing, tapping, pounding, vibrating, or stimulating with the hands or with the aid of any mechanical or electrical apparatus or appliances, with or without such supplementary aids as rubbing alcohol, liniments, antiseptics, oils, powder, creams, lotions, ointment or other such similar preparations commonly used in the practice of massage, under such circumstances that it is reasonably expected that the person to whom the treatment is provided shall pay any consideration whatsoever therefore. For purposes of this Ordinance, the term "bodywork" shall mean massage.

6.

Myotherapy Establishment. Any individual, group of individuals, person or business which engages in the practice of massage as defined herein, and which has a fixed place of business where any person, firm, association, partnership, limited liability company or corporation carries on any of the activities as defined herein. Myotherapy establishment shall also include, but not be limited to, a Turkish bath parlor, steam bath, sauna, magnetic healing institute, health club, health spa, or physical fitness club or business that offers massages on occasion or incidental to its principal operation, as well as an individual's home where a person is engaged in the practice of massage for consideration. The definition of sexually oriented business shall not include the practice of massage in a licensed hospital, sanitarium, nursing home, medical clinic or the offices of a physician, surgeon, chiropractor, osteopath, psychologist, clinical social worker and family counselor, who are licensed to practice their respective professions in the State of Wisconsin, or who are permitted to practice temporarily under the auspices of an associate or an establishment duly licensed in the State of Wisconsin, clergymen, certified members of the American Massage and Therapy Association and certified members of the International Myomassethics Federation. A Myotherapy Establishment engaged in the practice of massage as defined herein is considered a Regulated Use but not a sexually oriented business for purposes of these regulations.

7.

Adult Motion Picture Theater. A commercial establishment where, for any form of consideration, films, motion pictures, video cassettes, slides, or similar photographic reproductions are regularly shown which are characterized by the depiction or description of "specified sexual activities" or "specified anatomical areas".

8.

Adult Theater. A theater, concert hall, auditorium, or similar commercial establishment that regularly features persons who appear in a state of semi-nudity, live performances which are characterized by the depiction or description of specified anatomical areas, specified sexual activities, or live entertainment of an erotic nature including exotic dancers, strippers, male or female impersonators, or similar entertainment.

9.

Covering. Any clothing or wearing apparel, including pasties, but does not include any substance that can be washed off the skin, such as paint or make-up, or any substance designed to simulate the appearance of the anatomic area beneath it.

10.

Entertainer. A person who performs some type of activity or pose with the intent of allowing others to witness that activity or pose.

11.

Escort. A person, who for consideration in any form, agrees or offers to act as a companion guide or date for another person, or who agrees or offers to privately perform as an entertainer, including, but not limited to, the modeling of lingerie, the removal of clothing, the performance of a dance or skit, or the providing of specified sexual activities for another person. Under this definition, "privately" shall mean a performance for an individual, or that individual's guests.

12.

Escort Agency. A person or business association, who furnishes, offers to furnish or advertises to furnish escorts as one of its primary business purposes, for a fee, tip or other consideration.

13.

Nude Model Studio. Any place where a person who appears semi-nude or who displays specified anatomical areas is provided to be observed, sketched, drawn, painted, sculptured, photographed, or similarly depicted by other persons who pay money or any form of consideration. Nude Model Studio shall not include:

a.

A proprietary school licensed by the State of Wisconsin, or a college, junior college or university supported entirely or in part by public taxation.

b.

A private college or university that offers educational programs in which credits are transferable to a college, junior college, or university supported entirely or partly by taxation; or

c.

An establishment holding classes in a structure that has no sign visible from the exterior of the structure and no other advertising that indicates a semi-nude person is available for viewing; where in order to participate in a class a student must enroll at least three days in advance of the class; and where no more than one semi-nude model is on the premises at any one time.

14.

Nudity or State of Nudity or Nude. Exposing to view the genitals, pubic area, vulva perineum, anus, anal cleft or cleavage, or pubic hair with less than a fully opaque covering; exposing to view any portion of the areola of the female breast with less than a fully opaque covering; exposing to view male genitals in a discernibly turgid state, even if entirely covered by an opaque covering; or exposing to view any device, costume, or covering that gives the appearance of or stimulates any of these anatomical areas.

15.

Person. An individual, proprietorship, partnership, firm, association, joint stock company, corporation or combination of individuals whatever form or character.

16.

Principal Business Purpose. Twenty-five percent or more of the stock in trade of the business offered for sale or rental for consideration measured as a percentage of either the total linear feet of merchandise for sale or rental for consideration on display or the gross receipts of merchandise for sale or rental for consideration, whichever is greater.

17.

Semi-Nudity or Semi-Nude Condition or Semi-Nude. Exposing to view, with less than a fully opaque covering, any portion of the female breast below the top of the areola or any portion of the buttocks. This definition shall include the entire lower portion of the female breast exhibited by a dress, blouse, shirt, leotard, bathing suit, or other clothing, provided that the areola is not exposed in whole or in part.

18.

Sexual Encounter Center. A business or commercial enterprise that, as one of its principal business purposes, offers for any form of consideration:

a.

Physical contact in the form of wrestling or tumbling between persons of the opposite sex; or

b.

Activities between male and female persons and/or persons of the same sex when one or more of the persons is semi-nude.

19.

Specified Anatomical Areas.

a.

The human male genitals in a discernibly turgid state, even if completely and opaquely covered; or

b.

Less than completely and opaquely covered human genitals, pubic region, buttocks or female breast below a point immediately above the top of the areola.

20.

Specified Sexual Activities. Any of the following:

a.

The fondling or other erotic touching of human genitals, pubic region, buttocks, anus, or female breasts;

b.

Sex acts, normal or perverted, actual or simulated, including intercourse, oral copulation, masturbation, or sodomy; or

c.

Any activity intended to arouse, appeal to or gratify a person's lust, passions or sexual desires; or

d.

Human genitals in a state of sexual stimulation, arousal or tumescence; or

e.

Excretory functions as part of or in connection with any of the activities set forth in (a) through (d), inclusive, above.

Agency. Any governmental entity of the state and includes, but is not limited to, any board, department, division, commission, bureau, society, council, institution, state college or university, community college district, technical college district, or state community college. "Agency" does not include the general assembly, the controlling board, the adjutant general's department, or any court.

Agricultural Use. The use of land for agricultural purposes including farming, dairying, pasturage, agriculture, horticulture, floriculture, viticulture and animal and poultry husbandry and the necessary accessory uses for packing, treating or storing the produce, provided that the operation of such accessory use shall be secondary to that of the normal agricultural activities, and provided that the above uses shall not include the commercial feeding of garbage or offal to swine and other animals. A use shall be classified as agriculture only if agriculture is the principal or main use of the land.

Air pollution has the meaning given in 293.01(1m).

Alley. A public or legally established private thoroughfare, other than a street, which affords only a secondary means of access to abutting property.

Animal.

1.

Farm Animal. Animals other than household pets that may, where permitted, be kept and maintained for commercial production and sale or family food production, education or recreation.

2.

Domestic Animal. Any animal that has been bred or raised to live in or about the habitation of humans and is dependent on people for food and shelter.

Animal Confinement Facilities/Livestock Facilities. See the General Code of Ordinances for Marathon County Chapter 13 Livestock Facilities Licensing Ordinance.

Animal Feeding Operation. A feedlot or facility other than a pasture, where animals have been, are, or will be fed, confined, maintained, or stabled for a total of 45 days or more in any 12-month period.

Animal Lot. A feedlot, barnyard or other outdoor facility where livestock are concentrated for feeding or other purposes. "Animal lot" does not include a pasture or winter grazing area. Two or more animal lots at the same livestock facility constitutes a single animal lot, for the purposes of this section, if runoff from the animal lots drain to the same treatment area or if runoff from the animal lot treatment area converges or reaches the same surface water within 200 feet of any of those treatment areas.

Animal Units. As defined in NR 243 or as amended as follows:

Animal unit density equivalents for non-typical species or exotics such as bison, llamas, emu and ostriches shall be determined based on recommendation from the Committee or DNR.

Table 17: ANIMAL UNITS
Subcategory of Animal Types Animal Equivalency Factor Subcategory of Animal Types Animal Equivalency Factor
DAIRY CATTLE SHEEP
Milking and Dry Cows 1.4 Per Animal 0.1
Heifers (800—1,200 lbs.) 1.1
Heifers (400—800 lbs.) 0.6 HORSES
Calves (less than 400 lbs.) 0.2 Per Animal 2.0
BEEF CATTLE DUCKS
Steers/Cows (600 - Market) 1.0 Per Bird (Wet Lot) 0.2
Calves (less than 600 lbs.) 0.5 Per Bird (Dry Lot) 0.01
Bulls 1.4
CHICKENS
Layers 0.01
SWINE Broilers 0.005
Pigs (55 lbs. - Mkt) 0.4
Pigs (up to 55 lbs.) 0.1 TURKEYS
Sows 0.4 Per Bird 0.018
Boars 0.5
COMBINED ANIMAL UNITS
Calculated Total

 

Animal Waste Facility. Any site or area specifically designed and/or constructed for the purpose of storage or holding of animal waste and manure. Also see Section 11.02(2)(v) Storage Facility.

Apartment House. A building containing accommodations for more than two families living independently of each other.

Applicant has the meaning given in § 293.01(2), Wis. Stats.

Arterial Street or Road. See "STREET TERMS."

Auto Dealer. Any person may sell, offer to sell, or display three vehicles per year on property which they own or control providing the vehicles are part of their personal fleet. Sale of, offer to sell, or display of more than three vehicles requires proper zoning for an auto dealership.

Auto Laundry/Car Wash. A building or portion thereof containing facilities for washing vehicles using a steam cleaning device, cleaning solutions and water under pressure, blower, chain conveyor or other mechanical devices.

Automobile Service Station. Any building, structure or premises or other place used for the dispensing, sale or offering for sale of any motor fuel or oils, having pumps and storage tanks; also where battery, tire and similar services are rendered, but not including buildings and premises where such business is incidental to the conduct of a public garage used for the repair or storage of motor vehicles.

Automobile Wrecking Yard, Junk Yard, or Salvage Yard. Any area of land where three or more vehicles, unlicensed and/or not in running condition, an accumulation of auto parts, or both, are stored in the open and are not being restored to operation. Any land, building or structure used for the wrecking or storing of such motor vehicles, or parts thereof, not in running condition. Any area where tire carcasses are stored or recycled. Any area where three or more pieces of unlicensed or inoperative construction equipment, motorcycles, snowmobiles, boats or appliances or their parts are stored and are not being restored to operation, or any land or structure for the wrecking or storing of such vehicles, equipment or appliances, or parts thereof, not in working condition. The examples listed by this definition are examples and not intended to be an inclusive list.

Awning. Any structure made of cloth or metal with a frame attached to a building and projecting over a sidewalk, when the same is so erected as to permit its being raised to a position flat against the building when not in use.

Awning Sign. See Building Mounted Sign.

Bank or Financial Institution. A business that offers financial services.

Banner. A sign that is mounted on or attached to a non-rigid surface such as cloth fabric, plastic or similar material with no enclosing framework that is mounted to a building or other structure at one or more edges.

Bar or Tavern. Any premises wherein alcoholic beverages are sold at retail for consumption on the premises and minors are excluded therefrom by law. It shall not mean a premise wherein such beverages are sold in conjunction with the sale of food for consumption on the premises.

Baseline data has the meaning given in NR 132.03(3).

Basement. See: STORY

Bed and Breakfast Establishment. A business as defined in § 254.61(1), Wis. Stats.

Bedroom. A room furnished with a bed and intended primarily for sleeping.

Board of Adjustment. The Body established under § 59.694, Wis. Stats., for counties and designated "Board of Adjustment."

Brewery. A plant where malt liquors are produced greater than 15,000 barrels of beer per year.

Buildable Area. The remaining area of a parcel to be designated for buildings and structures excluding Right-Of-Way, easements, side, rear, and front yard setbacks established for each zoning district.

Building. A structure which encloses space above or below grade or both.

Building Directory Sign. A wall sign that is mounted adjacent to a building entrance identifying tenants that occupy space in the building.

Building Footprint. The portion of a lot or site covered by a building or structure at the surface level, measured on a horizontal plane.

Building Height. The vertical distance measured from the bottom of the floor joists or floor slab of the first story to the highest point of the roof for flat roofs; and to the deck line of mansard roofs; and to the average height between eaves and ridges for gable, hip, and gambrel roofs. Where buildings have multiple or conflicting roof styles, the most restrictive method of measurement applies. See Figure 6. Building Height.

Building-integrated SES. A solar energy system that is an integral part of a principal or accessory building, rather than a separate mechanical device, replacing or substituting for an architectural or structural component of the building. Building-integrated systems include but are not limited to photovoltaic or hot water solar energy systems that are contained within roofing materials, windows, skylights, and awnings.

Building-Mounted Sign. A sign that is adjacent to or attached to a building wall, door, or related architectural feature. Such signs include, but are not limited to, awning, canopy, projecting, and wall signs.

1.

Awning Sign. A sign painted on, printed on, attached flat against the surface of, or hanging below an awning. An awning sign includes any lightweight fabric protective cover over a door, entrance, window or other architectural feature.

2.

Hanging or Suspended Sign. A sign that is suspended from the underside of a horizontal plane surface and is supported by such surface.

3.

Canopy Sign. A sign attached to a building, projecting from and supported by said building, and extending beyond the building wall. A canopy sign is a structural protective cover over a door, entrance, window or other architectural feature.

4.

Projecting Sign. A sign that is attached to a building face and projects out perpendicular from the building wall. Projecting signs are located on a vertical plane.

5.

Wall Sign. A sign which is attached to an exterior building wall and the surface of which is parallel to the building wall.

Building, Principal. The building on a lot used to accommodate the primary use to which the premises are devoted. Only one principal structure is permitted on each lot or parcel.

Figure 6: BUILDING HEIGHT

Figure 6: BUILDING HEIGHT

Building Site Area. The ground area of a building or buildings, together with all open spaces required by this section.

Bulk Regulation. The combination of zoning controls which establishes the maximum size of a building and its location on a lot. The bulk envelope is a three-dimensional area within which a permitted building may be built.

Bulk sampling has the meaning given in § 293.01(2m), Wis. Stats.

Business Service Establishment. An establishment or place of business primarily engaged in the provision of services to other business or service establishments, which are usually but not always recurrent in nature. Such facilities may include, but are not limited to, branch locations for shipping companies, copying and printing establishments, computer service establishments, and the like. Business service establishments do not include the manufacture of any products, implements, or goods.

Campground. A parcel of land that contains sites for temporary occupancy of tents, travel trailers, motor homes and other recreational vehicles, or which contains cabins or similar structures for temporary use. A campground may be improved with water, sewer, or septic utilities, and/or electricity, or may be "rustic," with minimal utilities and facilities.

Camper, See Recreational Vehicle Canopy. Any structure, other than an awning made of cloth or metal with frames attached to a building, projecting over a sidewalk.

Canopy Sign. See Building Mounted Sign.

Carport. A covered automobile parking space not completely enclosed by walls or doors.

Car Wash. A facility consisting of self-service bays or automatic lines for the washing of passenger vehicles. Such uses typically include vacuuming stations and other associated car care uses.

Cemetery. Land used for the burial of the dead, and dedicated for cemetery purposes, including crematories, columbarium, mausoleums and mortuaries.

Central Sewer System. A system where individual lots are connected to a common sewerage system whether publicly or privately owned and operated.

Certificate of Compliance. A certification issued by the Administrator stating that the construction and the use of land or a building, the elevation of fill or the lowest floor of a structure is in compliance with all of the provisions of this Ordinance.

Changeable Copy Sign. A portion of a permanent sign with letters, characters, or graphics that are not permanently affixed to the structure, framing, or background allowing the letters, characters or graphics to be modified manually from time to time as situations change.

Clear Vision Area. A triangular space which permits an unobstructed view at the intersection of highways or streets with other highways, streets or roads or at the intersection of highways or streets with railroads.

Club. An association for some common purpose, but not including a group organized for or which is actually engaged in rendering a service which is customarily carried on as a business. A roadhouse or tavern shall not be construed as a club.

Cold Air Inflatable Balloon. A temporary sign composed of a nonporous bag of tough, light material filled with unheated air, which may or may not float in the atmosphere.

Collector Street. See Street Terms.

Collector surface. Any part of a solar collector that absorbs solar energy for use in the collector's energy transformation process. "Collector surface" does not include frames, supports and mounting hardware.

Collector use period. 9:00 a.m. to 3:00 p.m. standard time daily.

Collocation. The use of a wireless telecommunications facility by more than one wireless telecommunications provider.

Commercial communications. Includes communications used by government and military entities for emergency purposes, licensed amateur radio service, and non-emergency communications used by agricultural, business, government, and military entities including aviation radar, commercial mobile radio service, fixed wireless service, global positioning, line-of-sight, microwave, personal communications service, weather radar, and wireless internet service.

Commercial Use WES or SES. The use/purpose of the WES and/or SES is to convert wind and/or solar energy into electricity which is to be used, distributed, or sold offsite. These uses may be deemed to be accessory to an existing residential, commercial, or agricultural use but are subject to all the standards, requirements, and conditional use processes set forth in this Ordinance.

Commission (in reference to Sections 17.405 and 17.408). The Wisconsin Public Service Commission.

Committee. The Committee designated by Marathon County Board having jurisdiction over this Ordinance and designated as the County Planning Agency authorized by § 59.69(2), Wis. Stats., (Environmental Resources Committee).

Community Living Arrangements. A place where five or more unrelated people live together in a community setting, services provided include room and board, supervision and support services.

Comprehensive Plan. The long-range plan for the development of the County and its environs as officially adopted on May 23, 2006, or amended thereafter.

Condominium. The land together with all buildings, improvements and structures thereon, all easements, rights and appurtenances belonging thereto, and all articles of personal property which have been submitted to the provisions under ch. 703, Wis. Stats.

Conservation Area. An area of land where the water table is generally at, near or above the land surface.

Contour. The continuous line of the same elevation above mean sea level as determined by the United States Coast and Geodetic Survey.

Copy Area. The actual area of a sign applied to any background. Copy area shall be completed by drawing straight lines as closely as possible to the copy extremities encompassing individual letters or words.

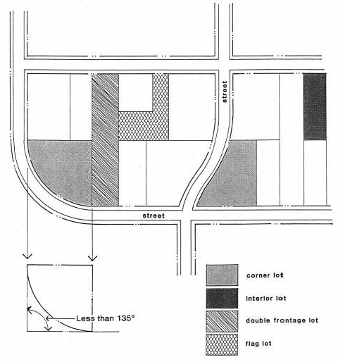
Corner Lot. See Lot Types.

County Planning Agency. A county zoning committee authorized by § 59.69(2), Wis. Stats.

County Technical Guide. The County Technical Guide developed primarily by the USDA Natural Resources Conservation Service to protect soil and water resources consists of standards designed to minimize negative impacts of agricultural production practices. The Technical Guide was adopted by the Committee on November 7, 1977. It is amended from time to time as standards are revised based on current research.

Crawlway or Crawl Space. An enclosed area below the first usable floor of a building, generally less than five feet in height, used for access to plumbing and electrical utilities.

Cul-de-sac. See Street Terms.

Cultural, Municipal, or Public Use. A public or private non-profit facility for the benefit of and service to the general public including, but not limited to, community centers, cultural facilities such as libraries or museums, police and fire stations, and municipal and government uses.

Day(s). Calendar day(s) unless otherwise specified.

Day Care or Child Care Facility. For the purpose of this code a day care or child care facility shall have the same definition as contained in § 48.65(1), Wis. Stats.

Deck. A structure usually made of wood and/or synthetic materials which is accessory to a principal structure and which has no roof covering or side walls.

Decommissioning. Removal of all of the following:

1.

The above ground portion of a wind energy system, including wind turbines and related facilities, except for access roads if removal has been waived by the property owner.

2.

All below ground facilities, except the following:

a.

Underground collector circuit facilities.

b.

Those portions of concrete structures four feet or more below grade.

Density. The number of dwelling units developed on an acre of land.

Department. Marathon County Conservation, Planning, and Zoning Department.

Development. Any artificial change to improved or unimproved real estate including, but not limited to, the construction of buildings, structures or accessory structures; the construction of additions or substantial improvements to buildings, structures or accessory structures; the placement of building or structures; mining, dredging, filling, grading, paving, excavation or drilling operations; and the storage, deposition or extraction of materials, public or private sewage disposal systems or water supply facilities.

Development Entrance Sign. A ground sign which identifies a residential or commercial subdivision, industrial or office park, or development with three or more buildings.

1.

Street Island Sign. A small piece of land surrounded by public streets, private streets, and/or common driveways that is located near the entrance to a residential subdivision, a residential complex, a commercial or office park, an institutional complex, an industrial park or the like.

Directional Sign. Any sign which solely serves to designate the location or direction of any place or area located on the premises on which the sign is located.

District. A designated area of Marathon County for which the regulations governing the use of the land and buildings are uniform.

DNR. The Wisconsin Department of Natural Resources.

Double Frontage Lot. See Lot Types.

Drive-Through Facility. Any portion of a building or structure from which business is transacted, or is capable of being transacted directly with customers located in a motor vehicle. The term "drive-thru" shall also include "drive-up" and "drive-in".

Dwelling. A building or portion thereof designed exclusively for residential occupancy, including one-family, two-family and multi-family dwellings.

Electronic Message Center Sign. A changeable copy sign that utilizes computer generated messages or some other electronic means of changing copy.

Encroachment. Any fill, structure, building, accessory use, principal use or development in an easement or required setback area.

Environmental pollution has the meaning given in § 293.01(4), Wis. Stats.

Essential Services and Utilities. The erection, construction, alteration or maintenance by public utilities or governmental departments, or commissions, of underground or overhead gas, electrical, steam or water transmission or distribution systems, collection, communications, supply or disposal systems including poles, wires, mains, drains, sewers, pipes, conduit, cables, fire alarm boxes, police call boxes, traffic signals, hydrants and other similar equipment and accessories necessary for the furnishing of adequate service by such public utilities or governmental departments or commissions or for the public health, safety or general welfare.

Existing Mobile Home Park or Mobile Home Subdivision. A parcel (or contiguous parcels) of land divided into two or more mobile home lots for rent or sale on which the construction of facilities for servicing the lots (including, at a minimum, the installation of utilities, either final site grading or the pouring of concrete pads, and the construction of streets) is completed before the effective date of this Ordinance.

Existing Street. See Street Terms.

Family. One or more persons related by birth, marriage or legal adoption occupying a dwelling unit and living as a single housekeeping unit, or not more than four unrelated persons occupying a dwelling unit and living as a single housekeeping unit.

Farm. All lands under common ownership that is primarily devoted to agriculture use.

Farmland Preservation Agreement. Any of the following agreements between an owner of land and the department under which the owner agrees to restrict the use of land in return for tax credits.

1.

An agreement or transition area agreement entered into under § 91.13, or 91.14, 2007 Wis. Stats.

2.

An agreement entered into under § 91.60, Wis. Stats.

Farmland Preservation Area. An area that is planned primarily for agricultural use, agricultural related use, or both, and that is identified as an agricultural preservation area or transition area in a farmland preservation plan described in § 91.12(1), Wis. Stats., or identified under § 91.10(1)(d), Wis. Stats., in a farmland preservation plan described in the § 91.12(2), Wis. Stats.

Farmland Preservation Plan. A plan for the preservation of farmland in a county, including an agricultural preservation plan under § ch. 91, 2007, Stats.

Farm Operator. An owner occupant of a parcel of land as defined in § 91.60(2)(a), Wis. Stats.

Farm Residence. Any of the following structures that is located on a farm: A single-family or duplex residence that is the only residential structure on the farm or is occupied by any of the following:

1.

An owner or operator of the farm.

2.

A parent or child of an owner or operator of the farm.

3.

An individual who earns more than 50 percent of his or her gross income from the farm.

Farm residences within the Farmland Preservation Zoning District are subject to all standards and requirements of Section 17.301.06.

Feedlot. A feedlot shall be determined to be any of the following facilities, when they are a business and means of livelihood:

1.

Any tract of land or structure wherein any type of fowl or the byproducts thereof are raised in close quarters for sale at wholesale or retail.

2.

Any structure, pen or corral wherein cattle, horses, sheep, goats, swine, and other animals domestic and/or exotic are maintained in close quarters for the purpose of fattening, milking or production of other animal products for final sale and/or shipment to market.

Fence. A barrier constructed so as to contain or enclose an area as a protective measure.

Fence, Open. A fence which does not exceed 50 percent opacity when viewed from any angle.

Finding of Fact. A concise statement of the action taken by a board or commission, either drafted during the meeting, or prepared by staff in advance, that is in the form of a motion, and which is recorded as part of the minutes for the meeting at which the action was taken.

Finished Grade. See Grade.

Flashing Sign. A sign which contains an intermittent of flashing, scintillating, blinking or traveling light source which includes signs that give the illusion of intermittent or flashing light by means of animation, or an externally-mounted intermittent light source.

Floodplain. Land which has been or may be covered by flood water during the regional flood. It includes the floodway and the flood fringe and may include other designated floodplain areas for regulatory purposes.

Floor Area. The sum of the gross horizontal areas of the several floors of a building, measured from the exterior faces of exterior walls or from the center line of common walls separating two buildings. Floor area for the purposes of these regulations, shall not include unfinished basement, garage elevator and stair bulkheads, attic space, terraces, breezeways, open porches and uncovered steps.

Forfeited any bond has the meaning given in NR 132.03(6).

Fowl. Domestic birds commonly kept for showing, breeding, production of meat, eggs or feathers, which shall include, but not be limited to, chickens, ducks, geese, swans, turkeys, pigeons, quail, partridge/grouse, pheasants, pea fowl, guinea fowl, ostriches and emus.

Freestanding Sign. See Ground Sign.

Frontage. All the property on one side of a street adjacent to and contiguous with the line of a public right-of-way.

Front Lot Line. See Lot Line Front Yard. See Yard Terms.

Fur Farm. Any property comprising land or building or both, used for the purpose of raising or harboring fur bearing animals including those defined in § 29.001(30), Wis. Stats., and also including chinchillas and other fur bearing animals, whether the animals are kept for breeding or slaughtering or pelting purposes.

Garage, Private. An accessory building or an accessory portion of the principal building, enclosed on all sides and designed or used for the shelter or storage of passenger vehicles and located on the same lot as the dwelling to which it is accessory.

Garage, Public. A building or portion thereof other than a private or storage garage, designed or used for equipping, servicing, repairing, hiring, selling or storing motor driven vehicles.

Gas Station. A place where gasoline, kerosene or any other motor fuel is offered for sale to the public. Such uses may include facilities for the sale of other retail products.

Gas Station Canopy Sign. A sign which is located upon the canopy above the gas station islands and is intended to shield such area from the elements. A gas station canopy is typically supported by columns.

Grade.

1.

Finished Grade. For buildings abutting one street only, the elevation of the sidewalk at the center of the wall facing the street (or the elevation of the center line of the street where no sidewalk exists), for buildings having walls facing more than one side street, the average elevation of the sidewalk at the centers of all walls facing the street, for buildings having no walls facing the street, the average level of the finished surface of the ground adjacent to the exterior walls of the building. (Any wall approximately parallel to a street line is to be considered as facing the street.)

2.

Natural Grade. The elevation of the undisturbed natural surface of the ground prior to any excavation or fill.

Greenhouse/Nursery. The cultivation of plants for subsequent sale or personal enjoyment.

Gross Acreage. Land area measured on the horizontal plane, and including land occupied by all natural and manmade features of the landscape.

Gross Lot Area. See Lot Area, Gross.

Ground-mount. Means a solar energy system mounted on a rack or pole that rests or is attached to the ground. Ground-mount systems can be either private or commercial uses.

Ground Sign. Any sign that is supported by the ground and not attached to a building (also referred to as a freestanding or monument sign).

Habitable Structure. Any structure, or portion of a structure, used or intended to be used for permanent or intermittent human occupancy.

Hanging or Suspended Sign. See Building Mounted Sign.

Hearing Notice. A publication or posting meeting the requirements of ch. 985, Wis. Stats.

Historic Structure. Any structure that is listed preliminarily determined to meet the requirements for listing, as an individual structure part of a district, or on an inventory of the National Register, determined by the Secretary of the Interior, or on a State or local inventory of Historic Places.

Home Occupation/Home Professional Business - Minor. Any occupation or business conducted by a family member in his/her home for gain or support when such occupation is incidental to the residential use of the premises.

Home Occupation/Home Professional Business - Major. Any occupation or business conducted by a family member in his/her home or accessory structure for gain or support when such occupation is incidental to the residential use of the premises.

Hospital or Medical Clinic.

1.

Hospital. Any building or other structure containing beds for at least four patients and devoted to the medical diagnosis, treatment or other care of human ailments.

2.

Medical Clinic. Any building or other structure devoted to the medical diagnosis, treatment and care of human outpatients.

Hotel. A building in which board and lodging are provided to the transient public for compensation.

Human Care Institution. A facility for the aged or mentally or physically infirm, protected with suitable fire protection devices including sprinklers, audible alarms, smoke and heat detectors and emergency lighting, conducted within any abode, building, institutional residence or home used for the reception and care, for a consideration, of three or more persons who, by reason of age or mental or physical infirmities, are not capable of properly caring for themselves or who are elderly, and for which a license has been issued by the State.

Human Habitation. The act of occupying a structure as a dwelling or sleeping place, whether intermittently or as a principal residence.

Illegal Sign. A sign for which no valid permit was issued by the County at the time such sign was erected, or a sign that is not in compliance with the current zoning ordinance and does not meet the definition of a non-conforming sign.

Illuminated Sign. A sign that provides artificial light direction on or through any transparent or translucent material, from a source of light connected with such sign, or a sign illuminated by a light with a source so obscured and shielded that no direct light rays from it are visible from a public right-of-way or from an abutting property.

Impermissible interference. The blockage of wind from a wind energy system or solar energy from a collector surface or proposed collector surface for which a permit has been granted under this section during a collector use period if such blockage is by any structure or vegetation on property, an owner of which was notified under sub. (3)(b). "Impermissible interference" does not include:

1.

Blockage by a narrow protrusion, including, but not limited to, a pole or wire, which does not substantially interfere with absorption of solar energy by a solar collector or does not substantially block wind from a wind energy system.

2.

Blockage by any structure constructed, under construction or for which a building permit has been applied for before the date the last notice is mailed or delivered under sub. (3)(b).

3.

Blockage by any vegetation planted before the date the last notice is mailed or delivered under sub. (3)(b) unless a municipality by ordinance under sub. (2) defines impermissible interference to include such vegetation.

Impounded Motor Vehicle. Any motor powered vehicle whether operable or inoperable and whether licensed or unlicensed, taken into custody and possession by a governmental agency or its legal agent pursuant to authority provided by statute, governmental regulations, or court order for the purpose of storage pending a final determination as to the disposition of said vehicle.

Institution for Higher Education. A facility for post-secondary education that grants associate, bachelor, master, or doctoral degrees and that may include research functions or professional schools.

Interchange. A grade separated intersection with one or more turning lanes for travel between intersecting highways.

Interior Lot. See Lot Types Interstate. See "Street Terms."

Junk. Materials or products from materials such as glass, rags, paper, metals or plastic either worn out, broken, fit to be discarded or recycled.

Kennel. The breeding, raising, and/or training of dogs, cats, or other household pets of three months age or older not owned by the owner or occupant of the premises or for commercial gain.

Land Use. Any nonstructural use made of unimproved or improved real estate. Also see: "Development."

Landing. An uncovered platform at the end of a flight of stairs or a platform for ingress and egress to a structure or a jump platform. A landing is a structural appurtenance not more than four feet wide unless further restricted in this Chapter.

Large Wind Energy System. Means a system having a total installed nameplate capacity of 300kW or greater and consists of individual wind turbines that have an installed nameplate capacity of more than 100 kilowatts. Systems with a total installed nameplate capacity of greater than 100MW may not be regulated by this Ordinance.

Lattice Tower. A support structure constructed of vertical metal struts and cross braces forming a triangular or square structure which often tapers from the foundation to the top.

Lawn or Grass Maintenance. The cutting or clipping of grass and the use of pesticides and fertilizer within prescribed manufacturers limits.

Legal Nonconforming Sign. Any sign that legally does not comply and conform to the provisions of this Ordinance, at the time of the effective date of this Ordinance.

Limited Outdoor Sales, Display or Storage (accessory to principal use). Outdoor display or sales of goods that are accessory to a principal use.

Livestock. Bovine animals, equine animals, goats, poultry, sheep, swine, farm-raised deer, farm-raised game birds, camelids, ratites, and farm-raised fish.

Loading Space. An off-street space or berth on the same lot with a building or contiguous to a group of buildings, for the temporary parking of a commercial vehicle while loading or unloading merchandise or materials, and which abuts upon a street, alley or other appropriate means of access.

Local Street. See Street Terms.

Lot. A parcel of land occupied or designed to be occupied by one principal structure or use and its accessory structures or uses, including the open spaces required by this section, and abutting on a public street or other officially approved means of access. A lot may be a parcel designated in a plat or described in a conveyance recorded in the Office of the Register of Deeds, or any part of a large parcel when such part complies with the requirements of this section as to width and area for the district in which it is located. No land included in any street, highway or railroad right-of-way shall be included in computing lot area.

Lot Area. The computed area contained within the lot lines. Where the lot has been conveyed to the center of the street the area of the lot lying within the established street right-of-way shall not be included as part of the lot area for the purpose of these regulations.

Lot Area, Net. Gross lot area minus any portions of the lot located within lakes, ponds, jurisdictional wetlands, utility easements, public street rights-of-way and private road easements.

Lot Coverage. The portion of the lot area that is covered by any buildings.

Lot Depth. The mean horizontal distance between the right-of-way line of the street and the rear lot line.

Lot Line. The boundary of a recorded parcel of record or a line established by a recorded survey (Certified Survey or Subdivision) or a boundary created by recorded metes and bounds, or rectangular description. A property line defines the limits of a lot.

1.

Front Lot Line. In the case of an interior lot, the line separating such lot from the street. In the case of a corner or through lot, the line separating such lot from that street which is designated as the front street in the request for zoning compliance permit.

2.

Rear Lot Line. The lot boundary opposite and most distant from the front lot line. In the case of a pointed or irregular lot where no rear lot line is apparent, the rear lot line shall be an imaginary line wholly within the parcel boundaries parallel to and the farthest from the front lot line. The location of which shall be established by creating a 35-foot arc radius from the farthest point of the parcel to the front lot line.

3.

Side Lot Line. A side lot line is any lot line not a front lot line or a rear lot line. A side lot line separating a lot from a side street is a side street lot line. A side lot line separating a lot from another lot or lots is an interior side lot line.

4.

Side Street Lot Line. In the case of a corner lot, the side street lot line is the line separating such lot from the street which is not designated as the front street in the plat or in the application for a building permit or zoning occupancy permit.

Lot Types.

1.

Corner Lot. A lot where the interior angle of two adjacent sides at the intersection of the two streets is less than 135 degrees. A lot abutting upon a curved street shall be considered a corner lot for the purposes of this Ordinance if the arc is a radius of less than 150 feet and the tangents to the curve, at the two points where the lot lines meet the curve or the straight street line extended form an interior angle of less than 135 degrees. (See Figure 7 Lot Types.)

2.

Double Frontage Lot. Any interior lot having frontage on two more or less parallel streets as distinguished from a corner lot. In the case of a row of double frontage lots, all sides of such lots adjacent to streets shall be considered frontage, and front yards shall be provided as required. (See Figure 7 Lot Types.)

3.

Interior Lot. A lot other than a corner lot. (See Figure 7 Lot Types.)

Figure 7: LOT TYPES

Figure 7: LOT TYPES

Lot of Record. A lot which is a part of a subdivision, the map of which has been recorded in the office of the Register of Deeds of Marathon County or a parcel of land, the deed to which was of record on or prior to the effective date of these regulations.

Lot, Waterfront. Any lot where any developments including stairs, grading, tree-cutting, etc. are taking place within 100 feet of the OHWM.

Lot Width. For the purpose of this section the width of a lot shall be the shortest distance between the side lines at the building setback line. Such building line may be the setback line or a line designated on a plat or in a conveyance of an unplatted parcel.

Maintenance and Repair. Includes the replacement of windows, doors, roofing, wiring and siding; upgrading of insulation; internal remodeling and improvements; repair, but not replacement, of an existing foundation, and the replacement of decks if they are the exact same size, same location, within one foot of existing height, and must meet all setbacks.

Manufactured Home. A building unit or assembly of closed construction that is fabricated in an off-site facility and constructed in conformance with the federal construction and safety standards established by the secretary of housing and urban development pursuant to the "Manufactured Housing Construction and Safety Standards Act of 1974," 88 Stat. 700, 42 U.S.C.A. 5401, 5403, and that has a permanent label or tag affixed to it, as specified in 42 U.S.C.A. 5415, certifying compliance with all applicable federal construction and safety standards. For the purposes of is Ordinance, a manufactured home includes manufactured homes and mobile homes. The term "manufactured home" does not include a "recreational vehicle".

Manufactured or Mobile Home Park. Any tract of land upon which two or more manufactured or mobile homes, used for habitation are parked, either free of charge or for revenue purposes, and includes any roadway, building, structure, vehicle, or enclosure used or intended for use as part of the facilities of the park. "Manufactured home or mobile home park" does not include any of the following:

1.

A tract of land used solely for the storage or display for sale of manufactured or mobile homes;

2.

A tract of land that is subdivided and the individual lots are for sale or sold for the purpose of installation of manufactured or mobile homes used for habitation and the roadways are dedicated to the local government authority;

3.

A tract of land within an area that is subject to local zoning authority and subdivision requirements and is subdivided, and the individual lots are for sale or sold for the purpose of installation of manufactured or mobile homes for habitation.

Manufacturing, Fabrication and Processing (light). A manufacturing establishment whose operations include storage of materials; processing, fabrication, or assembly of products; and loading and unloading of new materials and finished products. These uses do not produce or use in large quantities as an integral part of the manufacturing process toxic, hazardous, or explosive materials. Because of the nature of its operations and products, little or no noise, odor, vibration, glare and/or air/water pollution is produced, and therefore, these uses have minimal impact on surrounding properties. This definition includes all uses or products in the following NAICS groups [2]:

1.

311 Food Manufacturing (except 311223 Other Oilseed Processing, 311225 Fats and Oils Refining and Blending, 311311 Sugarcane Mills, 311312 Cane Sugar Refining, 311313 Beet Sugar Manufacturing, 311611 Animal (except poultry) Slaughtering, 311613 Rendering and Meat Byproduct Processing, 311615 Poultry Processing, 311711 Seafood Canning, 311712 Fresh and Frozen Seafood Processing, 311942 Spice and Extract Manufacturing).

2.

312111 Soft Drink Manufacturing.

3.

312112 Bottled Water Manufacturing.

4.

313 Textile Mills.

5.

314 Textile Product Mills.

6.

315 Apparel Manufacturing.

7.

316 Leather and Allied Product Manufacturing.

8.

321 Wood Product Manufacturing (except 321114 Wood Preservation).

9.

322 Paper Manufacturing (except 32211 Pulp Mills, 322121 Paper (except newsprint) Mills, 322122 Newsprint Mills, and 32213 Paperboard Mills).

10.

323 Printing and Related Support Activities.

11.

326 Plastics and Rubber Products Manufacturing (except 326211 Tire Manufacturing).

12.

332 Fabricated Metal Product Manufacturing (except 332111 Iron and Steel Forging and 332112 Nonferrous Forging).

13.

333 Machinery Manufacturing.

14.

334 Computer and Electronic Product Manufacturing.

15.

335 Electrical Equipment, Appliance, and Component Manufacturing.

16.

336 Transportation Equipment Manufacturing.

17.

337 Furniture and Related Product Manufacturing.

18.

339 Miscellaneous Manufacturing.

19.

511 Publishing Industries.

Manufacturing and Processing (heavy). A manufacturing establishment whose operations include storage of materials; processing, fabrication, or assembly of products; and loading and unloading of new materials and finished products. These uses may produce or use in large quantities as an integral part of the manufacturing process toxic, hazardous, or explosive materials. Noise, odor, dust, vibration, glare, or visual impacts, as well as potential public health problems in the event of an accident, could impact adjacent properties. This definition includes all uses or products in the following NAICS groups [3]:

1.

311 Food Manufacturing uses that are not included in General Manufacturing uses, including:

a.

311223 Other Oilseed Processing.

b.

311225 Fats and Oils Refining and Blending.

c.

311312 Cane Sugar Refining.

d.

311313 Beet Sugar Manufacturing.

e.

311611 Animal (except poultry) Slaughtering.

f.

311613 Rendering and Meat Byproduct Processing.

g.

311615 Poultry Processing.

h.

311311 Sugarcane Mills.

i.

311711 Seafood Canning.

j.

311712 Fresh and Frozen Seafood Processing.

k.

311942 Spice and Extract Manufacturing.

2.

312 Beverage and Tobacco Product Manufacturing.

3.

321114 Wood Preservation.

4.

322 Paper Manufacturing uses that are not considered General Manufacturing uses, including:

a.

32211 Pulp Mills.

b.

322121 Paper (except newsprint) Mills.

c.

322122 Newsprint Mills.

d.

32213 Paperboard Mills.

5.

324 Petroleum and Coal Products Manufacturing.

6.

325 Chemical Manufacturing.

7.

326211 Tire Manufacturing.

8.

327 Nonmetallic Mineral Product Manufacturing.

9.

331 Primary Metal Manufacturing.

10.

332111 Iron and Steel Forging.

11.

332112 Nonferrous Forging.

Marquee Sign. A sign, other than an awning or canopy sign, that is attached to, in any manner, or made a part of any permanent roof-like structure projecting from a wall of a building above an entrance and extending over a street, sidewalk, or part thereof. Marquee signs generally contain changeable copy on the vertical plane or face of the sign.

Material Change. A change to the design, location or construction of a Wind Energy System as previously approved by the Zoning Administrator and/or Board of Adjustment. (An application for material change is subject to PSC 128.35.)

Materials has the meaning given in NR 132.03(7).

Maximum blade tip height. The nominal hub height plus the nominal blade length of a wind turbine, as listed in the wind turbine specifications provided by the wind turbine manufacturer. If not listed in the wind turbine specifications, "maximum blade tip height" means the actual hub height plus the blade length.

Microbrewery. A brewery that produces less than 15,000 barrels (17,600 hectoliters) of beer per year. Microbreweries sell to the public by one or more of the following methods: the traditional three-tier system (brewer to wholesaler to retailer to consumer); the two-tier system (brewer acting as wholesaler to retailer to consumer); and, directly to the consumer through carryout and/or on-site taproom or restaurant sales.

Migrant Labor Camp. Site and all structures maintained as living quarters by, for or under the control and supervision of any person for, any migrant worker or any other person who is not related by blood or marriage to his or her employer and who occasionally or habitually leaves an established place of residence to travel to another locality to accept seasonal employment in the planting, cultivating, raising, handling, drying, packing, packaging, processing, freezing, grading or storing of agricultural or horticulture commodity in its unmanufactured state.

Migrant Worker. Any person who temporarily leaves a principal place of residence outside of this state and comes to this state for not more than ten months in a year to accept seasonal employment in the planting, cultivating, raising, handling, drying, packing, packaging, processing, freezing, grading or storing of agricultural or horticulture commodity in its unmanufactured state.

Mill has the meaning given in NR 132.03(10).

Minerals. Sand, gravel, clay, peat, peat moss, topsoil, shale, gypsum, halite, limestone, dolomite, sandstone, other stone, metalliferous or nonmetalliferous ore, or other material or substance of commercial value excavated in a solid state from natural deposits on or in the earth, but does not include coal.

Mining or mining operation has the meaning given in § 293.01(9), Wis. Stats, and NR 132.03(11).

Mining permit has the meaning given in § 293.01(11), Wis. Stats., and NR 132.03(12).

Mining plan has the meaning given in NR 132.03(13).

Mining site has the meaning given in § 293.01(12), Wis. Stats., and NR 132.03(14).

Minor Street. See "Street Terms."

Minimum Setback Line. Lines parallel to the street right-of-way line or lot lines and at a distance therefrom equal to the required depth of the front, side or rear yards. For front yards where the right-of-way line is an arterial or collector street, the building line shall be measured from the proposed center line of the traveled way.

Mixed Use District. Mixed use districts are a subset of nonresidential districts that permit both residential and nonresidential uses.

Mobile Home. A building unit or assembly of closed construction that is fabricated in an off-site facility, is more than 35 body feet in length or, when erected on site, is 320 or more square feet, is built on a permanent chassis, is transportable in one or more sections, and does not qualify as a manufactured home.

Mobile Recreational Vehicle. A vehicle which is built on a single chassis, 400 square feet or less when measured at the largest horizontal projection, designed to be self-propelled, carried or permanently towable by a licensed, light-duty vehicle, is licensed for highway use if registration is required and is designed primarily not for use as a permanent dwelling, but as temporary living quarters for recreational, camping, travel or seasonal use.

Mobile Tower. Commercial radio or TV broadcasting studio and/or tower and microwave relay towers, cellular telephone towers and similar structures which support antennas, dishes, or other broadcast, relay, amplification, and other transmission devices and their accessory structures.

Monitoring data has the meaning given in NR 132.03(15).

Monopole. A support structure constructed of a single, self- supporting hollow metal tube securely anchored to a foundation.

Monument Sign. See Ground Sign.

Motel or Tourist Cabin. A building or group of buildings which contain living or sleeping accommodations used primarily for transient occupancy, and have individual entrances from outside the building to serve each such living or sleeping unit.

Multifamily Dwelling. A building used exclusively for residential purposes containing three or more residential dwelling units. A multifamily structure where units are available for lease or rent for periods of less than one month shall be considered a lodging use.

Mural. A design or representation painted or drawn on the exterior surface of a structure.

Nameplate capacity. The nominal generating capacity of a wind energy system, as listed in the wind turbine specifications provided by the wind turbine manufacturer.

Natural Area. An area of land and/or water which has retained its natural character to some degree or has some unusual flora, fauna, geological, archaeology, scenic or similar features of scientific or educational interest. A natural area need not be completely undisturbed.

Natural Grade. See Grade.

Net Developable Area. The developable area of a site determined by deducting 15 percent of the gross site area for streets and utilities plus any site area(s) encumbered by the following unbuildable site conditions from the gross acreage of the proposed residential development (Only applies to subdivisions, multifamily developments, and conservation developments):

1.

Jurisdictional wetlands, as defined in U.S. Army Corps of Engineers' Corps of Engineers Wetlands Delineation Manual, Technical Report Y-87-1, U.S. Army Engineer Waterways Experiment Station, Vicksburg, Miss. Jurisdictional wetland as regulated by section 404 of the Clean Water Act consisting of (a) hydric soils, (b) hydrophytic vegetation, and (c) wetland hydrology (generally meaning that they support more than 50 percent wetland vegetation and are poorly drained soils that are periodically inundated or saturated).

2.

Floodplains, areas that lie within a FEMA 100-year floodplain, either within elevations determined by FEMA or mapped by FEMA.

3.

Steep slopes, defined as a slope greater than 25 percent.

4.

Easements, defined as rights-of-way that prohibit residential construction.

Steep slopes and easements within yard setbacks may be included in gross acreage for purposes of determining "net developable area."

Net Developable Density. The number of dwelling units permitted to be developed on the net developable area of a site per this Ordinance (Only applies to subdivisions, multifamily developments, and conservation developments).

Net Lot Area. See Lot Area, Net.

New Street. See Street Terms.

Nonconformities.

1.

Nonconforming Structure. A structure or portion thereof lawfully existing at the effective date of this Ordinance or amendments thereto that does not conform to ordinance provisions for the district in which it is located but is otherwise in compliance with all other applicable federal, state, and county laws, ordinances, regulations and codes.

2.

Nonconforming Use of Land. A use that lawfully occupied a parcel or contiguous parcels of land or structure and land in combination at the effective date of this Ordinance or amendments thereto that does not conform to the use regulations of the district in which it is located, or does not have special approval where provisions of this Ordinance require such approval, but is otherwise in compliance with all other applicable federal, state, and county laws, ordinances, regulations and codes.

3.

Non-conforming Lot of Record. A platted or unplatted parcel of land lawfully existing at the effective date of this Ordinance or amendments thereto that does not conform to ordinance provisions for the district in which it is located.

4.

Illegal Structure. A structure or portion thereof, which is not a conforming or a non-conforming structure, or is not in compliance with all applicable federal, state, and county laws, ordinances, regulations and codes.

5.

Illegal Use of Land. A use that occupies one or more contiguous parcels of land, or structures and land in combination, which is not a conforming or a nonconforming use, or is not in compliance with all applicable federal, state, and county laws, ordinances, regulations and codes.

6.

Cessation. To terminate, abandon or discontinue a use of land or building for a period of time that, under the provisions of this Ordinance, would prevent the use from being resumed.

Nonferrous metallic mineral has the meaning given in § 293.01(12m), Wis. Stats.

Nonmetallic Mining. The definition as contained in Section 21.03 of the General Code of Ordinances for Marathon County Chapter 21, Nonmetallic Mining Reclamation Code.

Nonparticipating property. Real property that is not a participating property in reference to sections 17.405 and 17.408.

Nonparticipating residence. A residence located on nonparticipating property in reference to a wind energy system.

Nonresidential District. Nonresidential districts include the N-C-1, C-2, B-R, L-I and H-I districts.

Noxious Matter. Material which is capable of causing injury to living organisms by chemical reaction or is capable of causing detrimental effects upon the physical or economic well-being of individuals.

Nuisance. Anything that interferes with the use or enjoyment of property, endangers personal health, safety or is offensive to a person of ordinary sensibilities.

Occupancy. Pertains to and is the purpose for which a building is used or intended to be used. A change of occupancy is not intended to include a change of tenants or proprietors.

Occupied. Including the word "occupancy" shall mean used at the time in question.

Occupied community building. A school, church or similar place of worship, daycare facility or public library, in reference to a wind energy system.

Off-Street Public Parking Lot or Garage. A building, or portion of a building, in which more than four motor vehicles are, or are intended to be, housed under arrangements made with patrons for renting or leasing such space and accommodations, and in which no repair work is carried on.

Office. A room or group of rooms used for conducting a business profession, service, or government. Such facilities may include, but are not limited to, offices of attorneys, engineers, architects, physicians, dentists, accountants, finance companies, real estate companies, insurance companies, financial planners, or corporate offices. Offices exclude manufacturing activities, but may include research and development activities.

Open Space. Any portion of the lot which is not occupied by any building or structure or is not hard surfaced with a man-made material. Furthermore, any land or area, the preservation of which in its present use would:

1.

Conserve and enhance natural or scenic resources; or

2.

Protect streams or water supply; or

3.

Promote conservation of soils, wetlands, or beaches; or

4.

Enhance the value to the public of abutting or neighboring parks, forests, wildlife preserves, nature reservations, or sanctuaries; or

5.

Enhance recreation opportunities.

Operator has the meaning given in § 293.01(13), Wis. Stats., NR 132.03(16), NR 135 and NR 295.

Opinion Sign. A temporary sign that announces the candidacy of persons running for public office, addresses issues to be voted upon at an election, or otherwise expresses an opinion or point of view, but does not advertise any products, goods, services or businesses.

Ordinary High Water Mark (OHWM). The point on the bank or shore up to which the presence and action of surface water is so continuous as to leave a distinctive mark such as by erosion, destruction or prevention of terrestrial vegetation, predominance of aquatic vegetation or other easily recognized characteristic.

Ore has the meaning given in NR 132.03(17).

Outdoor Dining. Areas located outdoors in the open air or under canopies that are open to the elements where food or drinks are served to patrons. Outdoor dining may occur on a public sidewalk, or on a patio, deck, rooftop, or other similar location located on private property.

Outlot. A parcel of land other than a lot or block as designated on the survey map, intended for transfer of ownership, public use including, but not limited to, utilities and stormwater control, private or public right-of-way, or a non-buildable parcel having wetlands, poor soils and/or topographic conditions. An outlot may not be used as a building site.

1.

See Section 17.301 for specifics related to Outlots within the Farmland Preservation Zoning District.

Overburden has the meaning given in NR 132.03(18).

Owner (in reference to Sections 17.405 and 17.408) means:

1.

A person with a direct ownership interest in a wind energy system, regardless of whether the person was involved in acquiring the necessary rights, permits and approvals or otherwise planning for the construction and operation of a wind energy system.

2.

At the time a wind energy system is being developed, a person who is acting as a wind energy system developer by acquiring the necessary rights, permits and approvals for or by planning for the construction and operation of a wind energy system, regardless of whether the person will own or operate the wind energy system.

Park. A pleasure ground set apart for recreation of the public, to promote health and enjoyment.

Park, Amusement. An area publicly or privately owned, containing amusement and recreational facilities and devices, whether operated for profit or not.

Park Model Unit. A structure resembling a mobile home or manufactured home in construction and design, generally having less than 400 square feet of total floor area, and not a mobile recreational vehicle due to its inability to be towed by conventional cars or trucks.

Parking Lot. A lot where automobiles are parked or stored temporarily, but not including the wrecking of automobiles or other vehicles or storage for the purpose of repair or wrecking.

Parking Space. An off-street space or berth for the temporary parking of a vehicle for a period longer than required to load or unload persons or goods.

Participating property (in reference to Sections 17.405 and 17.408) means any of the following:

1.

A turbine host property.

2.

Real property that is the subject of an agreement that does all of the following:

a.

Provides for the payment of monetary compensation to the landowner from an owner regardless of whether any part of a wind energy system is constructed on the property.

b.

Specifies in writing any waiver of a requirement or right under this section and that the landowner's acceptance of payment establishes the landowner's property as a participating property.

Participating residence. A residence located on participating property (in reference to Sections 17.405 and 17.408).

Passive Solar Energy System. A solar energy system that captures solar light or heat without transforming it to another form of energy or transferring the energy via a heat exchanger.

Pasture. Grazing animals on growing vegetation with no supplemental feed at up to five animal units per acre. Also rotational grazing systems designed periodically to exceed five animal units per acre, which comply with the standards in the County Technical Guide adopted by the Committee.

Person. Includes any individual or group of individuals, corporation, partnership, association, or any other entity, including state and local governments and agencies, or any combination thereof.

Personal Service Establishment. An establishment or place of business primarily engaged in the provision of services of a personal nature related to the care, hygiene, or appearance of the human body or the maintenance of items worn or carried by persons. Such services are usually but not always recurrent in nature. Examples of personal service uses include, but are not limited to, beauty and barber shops, shoe repair shops, health spas, therapeutic massage, and tailor shops.

Pet Boarding Facility. A business for the temporary boarding and care of common household pets. Boarding generally occurs during daytime hours, but may include overnight boarding. Pet boarding facilities may provide related services such as retail sales, grooming, or training, but no animals may be bred or sold at a pet boarding facility.

Photovoltaic System. A solar energy system that converts solar energy directly into electricity.

Place of Assembly. A facility for public assembly including, but not limited to, arenas, auditoriums, conference facilities, banquet facilities, convention centers, exhibition halls, theatres, performing arts centers, or any other use where people gather for recreational, charitable, or commercial purposes.

Place of Worship. A facility used for regular organized religious worship and related activities, including living quarters for church ministry or other members of the religious order who carry out their duties primarily on the site, religious education classes, and limited recreation facilities.

Planning Commission. The Environmental Resources Committee of the County of Marathon.

Pole Sign. A sign which is supported by or suspended from a freestanding column or columns.

Political Sign. See Opinion Sign.

Pond. A seasonal or permanent body of water, created by excavation, by dike construction or by a combination of both. The only ponds within this definition subject to shoreland setback regulations by this Chapter are those under § 30.19, Wis. Stats., and which have been declared navigable.

Pond, Landscape/Ornamental. A pond usually of small size exclusively used as a landscape feature in a residential yard usually lined with a pre-formed or flexible liner and not to be used for any agricultural or recreation use other than viewing. (Considered a minor structure by this Ordinance).

Porch. An attachment which is part of a principal structure usually functioning as a passageway into the main part of the structure and/or as additional seasonal living space.

Potential mining site means the surface area disturbed by an applicant pursuant to a prospecting and/or bulk sampling permit. The site includes the surface area from which the nonferrous metallic minerals or refuse or both have been removed, the surface area covered by refuse, all lands disturbed by the construction or improvement of haulage ways, and any surface areas in which structures, equipment, materials and any other items used in the potential mining operation are situated.

Premises. An area of land occupied by the buildings or other physical uses which are an integral part of the activity conducted upon the land and such open spaces as are arranged and designed to be used in conjunction with that activity.

Primary School. Facilities for elementary, junior, and secondary schools including the customarily associated facilities such as administrative offices and auditoriums.

Principal Building. See Building, Principal

Private Club, Fraternal Organization, or Community Group. A membership organization that holds regular meetings and that may, subject to other regulations controlling such uses, maintain dining facilities, serve alcohol, or engage professional entertainment for the enjoyment of dues paying members and their guests.

Private Sewage System/Private On-Site Wastewater Treatment System (POWTS). For the purpose of this code a private sewage system shall have the same definition as contained in § 145.01(12), Wis. Stats.

Private Street. See "Street Terms."

Private Use WES or SES. Means the primary purpose of the WES and/or SES is to convert wind and/or solar energy into electricity which is to be used and/or stored onsite. These WES and SES must be accessory to an existing residential, commercial, industrial, or agricultural use and are subject to all the standards, requirements, and processes set forth in this Ordinance.

Professional Office. The office of a doctor, practitioner, dentist, minister, architect, landscape architect, professional engineer, lawyer, author, musician or other recognized profession.

Project Construction Sign. A sign which directs attention to the promotion, development and construction of the property on which it is located and which identifies the owner, architects, engineers, contractors and other individuals or firms involved with the construction of the project.

Projecting Sign. See Building-Mounted Sign.

Prospecting has the meaning given in § 293.01(18), Wis. Stats., and NR 131.03(15).

Prospecting data has the meaning given in NR 131.03(16).

Prospecting permit has the meaning given in § 293.01(19), Wis. Stats., and NR 131.03(17).

Prospecting plan has the meaning given in § 293.01(20), Wis. Stats., and NR 131.03(18).

Prospecting site has the meaning given in § 293.01(21), Wis. Stats., and NR 131.03(19).

Prospector has the meaning given in § 293.01(22), Wis. Stats.

Public or Self-Storage. A building or group of buildings containing separate storage spaces used for the storage of personal property.

Public Street. See Street Terms.

Public Utility. Any person, firm, corporation, governmental agency or board fully authorized to furnish to the public, electricity, gas, steam, telephone, telegraph, transportation, water or any other similar public utilities.

Quarrying. The removal of rock, gravel, decomposed granite, sand, topsoil or other natural material from the earth by excavating, stripping, leveling or any other process whereby these materials are substantially removed from the site.

Real Estate Sign. A sign advertising the sale, rental or lease of the premises or part of the premises on which the sign is displayed.

Rear Lot Line. See Lot Line.

Rear Yard. See Yard Terms.

Reclamation has the meaning given in § 293.01(23), Wis. Stats., and NR 132.03(21).

Reclamation plan has the meaning given in § 293.01(24), Wis. Stats., and NR 132.03(22).

Recreation or Youth Camp. An area containing one or more permanent buildings used occasionally or periodically for the accommodation of members of associations or groups for recreational purposes.

Recreation, Indoor. Indoor recreation uses that may be smaller in scale, such as arcades, billiards halls, bowling alleys, indoor shooting ranges and similar uses; or larger in scale, such as soccer, hockey, tennis, swimming, or other similar uses.

Recreation, Outdoor. Outdoor recreation uses that are not open to the general public or which charge an admission or usage fee. Typical uses may include country clubs, golf courses, miniature golf, swimming pools, tennis courts, volleyball courts, soccer, baseball, go-cart tracks, batting cages, golf driving ranges (not associated with a golf course), amusement parks, and similar uses.

Recreation, Public. An open area and/or facilities designed for the active and/or passive use of the general public.

Recreational Vehicle. A vehicle which is built on a single chassis, 400 square feet or less when measured at the largest horizontal projection, designed to be self-propelled, carried or permanently towable by a licensed, light duty vehicle, is licensed for highway use if registration is required and is designed primarily not for the use as a permanent dwelling, but as temporary living quarters for recreational, camping, travel or seasonal use.

Recreational vehicles (private). Vehicles which are built on a single chassis, 400 square feet or less when measured at the largest horizontal projection, designed to be self-propelled, carried or permanently towable by a licensed, light duty vehicle, are licensed for highway use if registration is required, are designed primarily not for the use as a permanent dwelling, but as temporary living quarters for recreational, camping, travel or seasonal use, and belong to or for the use of one particular person or group of people only.

Refuse has the meaning given in § 293.01(25), Wis. Stats., and NR 132.03(22).

Rendering Plant. A plant for the reduction of dead animals or slaughtered animals not suitable for human consumption to by-products such as hide, skin, grease, bones, glue and soap and for the storage of such by-products.

Renewable Energy Easement, Solar Energy Easement. An easement that limits the height or location, or both, of permissible development on the burdened land in terms of a structure or vegetation, or both, for the purpose of providing access for the benefited land to wind or sunlight passing over the burdened land, consistent with § 700.35, Wis. Stats.

Renewable Energy System. A solar energy or wind energy system. Renewable energy systems do not include passive systems that serve a dual function, such as a greenhouse or window.

Residence. An occupied primary or secondary personal residence including a manufactured home as defined in § 101.91(2), Wis. Stats., a hospital, community-based residential facility, residential care apartment complex or similar facility, or a nursing home. "Residence" includes a temporarily unoccupied primary or secondary personal residence. "Residence" does not include any of the following:

1.

A recreational vehicle as defined in § 340.01(48r), Wis. Stats., notwithstanding the length of the vehicle.

2.

A camping trailer as defined in § 340.01(6m), Wis. Stats.

3.

A permanently abandoned personal residence.

Residential District. Residential districts include the U-R, L-D-R, R-R, R-E, F-P, G-A, C-V/R-C districts.

Restaurant. A place of business dedicated to the preparation and sale of food and beverage for immediate consumption on or off site. A restaurant may sell alcoholic beverages for consumption on the premises as a use.

Retail Sales. Any generally recognized retail business that supplies commodities on the premises to the general incidental public where all sales and display of goods shall occur entirely indoors. Commodities supplied may include groceries and similar food products for consumption off the premises.

Retail Sales, Outdoor. The keeping or display in an enclosed area outside of a building or structure of any goods, material, or merchandise in the same place for more than 24 hours. Common examples include garden supplies, burial monuments, building and landscape materials and lumber yards.

Riding Stable. A building or premises used for the rent or lease of horses or animals for hire.

Right-of-Way Line. A dividing line between a lot, tract or parcel of land and a contiguous street. Where the lot, tract or parcel of land has been conveyed to the center of the street, the street right-of-way line then becomes the inside line of land reserved for street purposes.

Roadside Stand. A structure having a ground area of not more than 300 square feet, readily removable in its entirely, not fully enclosed and to be used solely for the sale of farm products more than one-half of which were produced on the premises or adjacent premises. There shall not be more than one such roadside stand on any single premise.

Roof-mount. Means a solar energy system mounted on a rack that is fastened to or ballasted on a building roof. Roof-mount systems are accessory to the principal use.

Roof Sign. A display sign which is erected, constructed, and maintained above any portion of the roof or exterior walls of a building or structure.

Rotor. The nonstationary part of a wind turbine.

Rotor Radius. The distance between the center point of the rotor and the outermost point on the rotor or blade.

Sandwich Board Sign. A temporary ground sign not secured or attached to the surface upon which it is located constructed in such a manner as to form an "A" or a tent-like shape, hinged or not hinged at the top; each angular face held at an appropriate distance by a supporting member.

Sanitarium. A health station, retreat, or an institution for the recuperation and treatment of persons suffering from physical or mental disorders.

SES. A Solar Energy System.

Setback Line/Building Line. The minimum allowable distance from a given point or line of reference, such as a thoroughfare, right-of-way, Ordinary High-Water Mark or lot line to the nearest vertical wall or other element of a building or structure.

Setback. The minimum distance required between a structure and the road right of way, side, and rear lot lines, and other structures.

Setback Lines. See Title 2; Chapter 18, Building Setback Line—Yard.

Setback, Required. The distance required to obtain the front, side or rear open space stipulated in this Ordinance. (See Figure 8. Setback Terms.)

Figure 8: SETBACK TERMS

Figure 8: SETBACK TERMS

Shadow flicker (in reference to Section 17.405) means a pattern of moving shadows cast on a residence or an occupied community building caused by sunlight shining through moving wind turbine blades resulting in alternating changes in light intensity.

Shopping Center. A group of contiguous retail stores originally planned and developed as a single unit, with immediate adjoining off street parking facilities.

Shooting Range, Private. Any permanent or semi-permanent target shooting range for the landowner's private occasional use and which may include intermittent use by friends and family.

Shooting Range, Public. Any permanent or semi-permanent target shooting range for use by the general public and/or for competitive shoots, whether or not a charge/fee/donation is required to use the facility.

Side Lot Line. See Lot Line.

Side Yard. See Yard Terms.

Side Street Lot Line. See Lot Line.

Side Street Yard. See Yard Terms.

Sign. Any display, figure, painting, drawing, placard, poster or other device visible from a public way which is designed, intended or used to convey a message, advertise, inform or direct attention to a building, person, institution, organization, activity, place, object or product. It may be a structure or part thereof attached directly or indirectly on a structure.

Sign Face. The area or display surface used for the message.

Sign Height. See Section 17.701.04.

Sign Plate. A wall sign not exceeding two square feet in sign area.

Sign Structure. The supports and frame work which supports a sign on or independent of any building.

Single-Family Dwelling, Attached. A building containing three or more dwelling units where each dwelling unit has its own exterior entrance; is capable of individual use and maintenance without trespassing on adjoining dwellings; and access, utilities and service facilities are independent for each dwelling.

Single-Family Dwelling, Detached. A dwelling designed for or used exclusively for residence purposes by one family.

Slaughterhouse. Any building or premises used for the killing or dressing of fowl, cattle, sheep, swine, goats or horses and the storage, freezing and curing of meat and preparation of either meat products, by-products or both.

Small wind energy system. A wind energy system that has a total installed nameplate capacity of 300 kilowatts or less and that consists of individual wind turbines that have an installed nameplate capacity of not more than 100 kilowatts.

Solar Access. An unobstructed access to direct sunlight on a lot or building through the entire year, including access across adjacent parcel air rights, for the purpose of capturing direct sunlight to operate a solar energy system.

Solar Collector. A device, structure or a part of a device or structure for which the primary purpose is to transform solar radiant energy into thermal, mechanical, chemical, or electrical energy.

Solar Collector Surface. Any part of a solar collector that absorbs solar energy for use in the collector's energy transformation process. Collector surface does not include frames, supports and mounting hardware.

Solar Daylighting. A device specifically designed to capture and redirect the visible portion of the solar spectrum, while controlling the infrared portion, for use in illuminating interior building spaces in lieu of artificial lighting.

Solar Energy. A radiant energy received from the sun that can be collected in the form of heat or light by a solar collector.

Solar Energy System (SES). A device, array of devices, or structural design feature, which has the primary purpose of harvesting energy by transforming solar energy into another form of energy or transferring heat from a collector to another medium using mechanical, electrical, or chemical means.

Solar Heat Exchanger. A component of a solar energy device that is used to transfer heat from one substance to another, either liquid or gas.

Solar Hot Air System (also referred to as Solar Air Heat or Solar Furnace). Means a solar energy system that includes a solar collector to provide direct supplemental space heating by heating and recirculating conditioned building air. The most efficient performance typically uses a vertically mounted collector on a south-facing wall.

Solar Hot Water System (also referred to as Solar Thermal). Means a system that includes a solar collector and a heat exchanger that heats or preheats water for building heating systems or other hot water needs, including residential domestic hot water and hot water for commercial processes.

Solar Mounting Devices. The racking, frames, or other devices that allow the mounting of a solar collector onto a roof surface or the ground.

Solar Resource. A view of the sun from a specific point on a lot or building that is not obscured by any vegetation, building, or object for a minimum of four hours between the hours of 9:00 AM and 3:00 PM Standard time on all days of the year.

Solar Storage Unit. A component of a solar energy device that is used to store solar generated electricity or heat for later use.

Solid waste has the meaning given under 281.01(15).

Special Advertising Event Sign. A temporary sign associated with a special event and displayed for a specified and limited period of time.

Stable.

1.

Private Stable. A building and associated site improvements for the keeping of horses for noncommercial use by the residents of the lot, not including the keeping of horses for others or for commercial breeding.

2.

Public Stable. The keeping of horses for hire, breeding, or commercial use.

Storage/Impound Yard. A use involving primarily the keeping of personal or business property or motor vehicles outside of a building, or a use where the use is characterized primarily by its outdoor component. Examples of such uses include, but are not limited to, contractor's supply yards, lumber yards, recreational vehicle storage yards, commercial vehicle storage, motor vehicle impound yards, and the like.

Storage/Shipping container. A structure/container designed for the storage and/or shipment of goods by means of boat, train or truck. Such storage containers are self-contained units which do not have axles or wheels directly attached to them. These containers may be used as permanent accessory structures in some zoning districts, as well as for the temporary storage and/or the moving of small amounts of goods, supplies, construction waste, or equipment. Items such as semi-trailers, box trucks, box vans, any portion of, or similar items placed on the ground are considered vehicles, not shipping/storage containers.

Story. That part of a building, other than a mezzanine, included between the surface of one floor and the surface of the floor next above, or if there be no floor above, that part of the building which is above the surface of the highest floor thereof. Specifically:

1.

First Story. The highest story having its interior floor surface not more than four feet above the curb level, or the average elevation of the finished grade along the front of the building where it set back from the street.

2.

Basement. That portion of a building wholly or partly below grade, but so constructed that the vertical distance from the average grade to the basement floor is greater than the vertical distance from the average grade to the basement ceiling. A basement shall not be included as a story for height measurement. A basement is considered a story if over 50 percent of its height is above the level from which the height of the building is measured. (See Figure 9. Determination of Basement vs. Story)

3.

Half-story. That part of a building between a pitched roof and the uppermost full story, such part having a floor area which does not exceed one-half of the floor area of such full story, provided the area contains at least 200 square feet, with a clear height of at least seven feet six inches.

4.

Mezzanine. A full story when it covers more than 33 percent of the area of the story underneath such mezzanine or if the vertical distance from the floor next below it to the floor next above it is 24 feet or more.

Figure 9: DETERMINATION OF BASEMENT VS. STORY

Figure 9: DETERMINATION OF BASEMENT VS. STORY

Street Island Sign. See Development Entrance Sign.

Street Terms. A street is a public or private way for pedestrian and vehicular use. A driveway to a farm building shall not be considered a street for the purpose of determining setback, even though such driveway may have been designated a town road for the purposes of maintenance. Specific street terms as used in this Ordinance are as follows:

1.

Arterial Street (State Road). SR 13, SR 29, SR 34, SR 49, SR 52, SR 97, SR 98, SR 107, and SR 153.

2.

Collector Street (County Road). A, B, C, D, E, F, G, I, J, K, M, N, O, P, Q, R, S, T, U, V, W, X, Y, CJ, DB, DD, KK, NN, OO, WW, XX, and AAA.

3.

Cul-de-sac. A local street having one end open to vehicular traffic and the other end permanently terminated by a vehicular turnaround.

4.

Dead-End Street. A street temporarily having only one outlet for vehicular traffic and intended to be extended or continued in the future.

5.

Existing Street. A county street or road that is in existence, having been dedicated as such, at the time of subdivision application.

6.

Interstate. I-59 and I-39.

7.

Local Street. Any other street not identified above.

8.

New Street. A right-of-way depicted on a plat that is being proposed for dedication as a County or Town street or road at the time of subdivision application.

9.

Private Street. A thoroughfare which affords principal means of access to abutting property, but which has not been dedicated to the public and/or subject to public easements.

10.

Public Street. A public thoroughfare which has been dedicated to the public use and accepted by a unit of government or subject to public easement therefore, and which affords principal means of access to abutting property.

Structural Alteration. Any change in the supporting members of a building, such as bearing walls or partitions, columns, beams or girders, or any increase in the area or cubical contents of the building.

Structure. Anything constructed, placed, or erected, including a building, the use of which requires location on, above, or below the ground and/or is attached to something having a location on, above, or below the ground.

Structure, Minor. A structure not requiring a zoning permit shall include any small easily movable construction and any structure which has a footprint of no more than 100 square feet (or 100 linear feet or less of fencing), decks 100 square feet or less and/or any structure allowing for handicap access. Minor structures must meet all setbacks for the zoning district in which they are located with the exception of school bus waiting shelters. Small easily movable accessory structures include but are not limited to objects such as, play equipment, tree houses, farm calf hutches, permanent deer stands (without living quarters, plumbing, or running water), outside woodstoves/boilers and other hand movable objects such as, grills, etc. Note Wis. Admin. Code requires counties to issue permits for all structures in floodplain. Minor structures are subject to the applicable Chapter 22 Shoreland, Shoreland-Wetland, Floodplain standards and permitting requirements.

Subdivider. Any individual, firm, association, corporation, trust or any legal entity, including agents commencing proceedings under these Regulations to subdivide land.

Subdivision. As identified in the General Code of Ordinances for Marathon County Chapter 18 Land Division and Surveying Regulations.

Subdivision Sign. See Development Entrance Sign.

Substantial Damage. Damage of any origin sustained by a structure whereby the cost of restoring the structure to its pre-damaged condition would equal or exceed 50 percent of the equalized assessed value of the structure before the damage occurred.

Substantial Evidence. Facts and information, other than merely personal preferences or speculation, directly pertaining to the requirements and conditions an applicant must meet to obtain a conditional use permit, and that reasonable persons would accept in support of a conclusion.

Substantial Improvement. Any repair, reconstruction or improvement of a structure, the value of which equals or exceeds 50 percent of the present equalized assessed value of the structure either before the improvement or repair is started or, if the structure has been damaged and is being restored, before the damage occurred. The term does not include either any project for improvement of a structure to comply with existing State or local health, sanitary or safety code specifications which are solely necessary to assure safe living conditions or any alteration of a structure or site documented as deserving preservation by the State Historical Society or listed on the National Register of Historic places. Ordinary maintenance repairs are not considered structural repairs, modifications or additions. Such ordinary maintenance repairs include internal and external painting, decorating, paneling and replacement of doors, windows and other nonstructural components. The term does not, however, include:

1.

Any improvement to a structure which is considered "new construction,"

2.

Any project for improvement of a structure to correct existing violations of state or local health, sanitary, or safety code specifications which have been identified prior to the application for a development permit by the local code enforcement official and which are the minimum necessary to assure safe living conditions; or

3.

Any alteration of a "historic structure," provided that the alteration will not preclude the structure's continued designation as a "historic structure".

Substantially Altered. A change in a sign or sign structure, as differentiated from maintenance or repair including a change in height, location, area, shape, or material. In the case of manual or automatic changeable copy signs, a change in copy does not constitute a substantially altered sign.

Swimming Pool, Family. A swimming pool used or intended to be used solely by the owner or lessee thereof and his family, and by friends invited to use it without payment of any fee.

Tailings has the meaning given in NR 132.03(24).

Technical School. Private educational facilities including business and commercial technical schools, art schools, dance schools and specialized educational facilities.

Temporary Sign. A sign that is designed to be used only temporarily and is not intended to be permanently attached to a building, a structure or permanently installed in the ground.

Transmission Equipment. Poles, towers, wires, cables, conduits, vaults, laterals, pipes, main valves for high voltage electrical transmission, natural gas, and other utility products and services not intended for direct access by retail customers, but whose purpose is transmission from point of origin to distribution stations or similar locations.

Transparent. Fine or sheer enough to be seen through.

Turbine host property. Real property on which at least one wind turbine is located.

Two-Family Dwelling. A building designed and used exclusively by two families living independently of each other.

Unnecessary Hardship. A circumstance where special conditions, which are not self-created, affect a particular property and make strict conformity with restrictions governing area, setbacks, frontage, height or density unnecessarily burdensome or unreasonable in light of the purposes of this section.

Unsuitability has the meaning given in § 293.01(25), Wis. Stats., and NR 132.03(22).

Use. The purpose for which a building or premises is or may be occupied. In the classification of uses, a "use" may be a use as commonly understood or the name of an occupation, business, activity or operation carried on, or intended to be carried on in a building or on premises, or the name of a building, place or thing which name indicates the use or intended use.

Useable Open Space. The required portion of a lot excluding the required front yard area which is unoccupied by principal or accessory buildings and available to all occupants of the building for use for recreational and other leisure activities normally carried on outdoors. This space shall be unobstructed to the sky and shall not be devoted to service driveways or off-street parking or loading space.

Variance. A grant of relief from the standards of these regulations consistent with the variance conditions herein.

Vehicle or Equipment Sales or Rental. A building and land used principally for the sale of automobiles or other large vehicles or equipment.

Veterinary Office, Clinic or Hospital. A place used for the care, grooming, diagnosis and treatment of sick, ailing, infirm or injured animals and those who are in need of medical or surgical attention and may include overnight accommodations on the premises for treatment, observation and/or recuperation.

Violation. A condition that occurs when a structure or other activity requiring a permit or approved by this Code is commenced without first obtaining the required permit and/or where the structure or activity is not in compliance with the terms of this Code.

Wall Sign. See Building-Mounted Sign.

Warehousing/Distribution. Establishments primarily engaged in selling durable and nondurable goods to retailers; industrial, commercial, institutional, farm, building trade contractors, or professional business uses; or to other wholesalers. Activities may include physically assembling, sorting, and grading goods into large lots and breaking bulk for redistribution in smaller lots. Operations with more than 25 percent of sales to retail customers are considered a retail use, and shall be located in an appropriate zone.

Waste rock has the meaning given in NR 132.03(26).

Waters of the state has the meaning given in § 293.01(29), Wis. Stats.

Water supply has the meaning given in § 293.01(30), Wis. Stats.

WES. A Wind Energy System.

Well. An excavation opening in the ground made by digging, boring, drilling, driving or other methods, for the purpose of obtaining groundwater regardless of its intended use.

Well Field. A parcel of land used primarily for the purpose of locating wells to supply a municipal water system.

Wetlands. Those areas where water is at, near or above the land surface long enough to be capable of supporting aquatic or hydrophytic vegetation and which have soils indicative of wet conditions.

Wildlife Refuge or Game Preserve. An area of land that is protected and managed in order to preserve a particular type of habitat and its flora and fauna which may or may not be rare or endangered.

Window Sign. A sign applied or attached to the exterior or interior of a window or located in such a manner within a building that it is visible from the exterior of the building through a window. Merchandise for sale on the premises that is located in a window display shall not be considered a window sign.

Wind access easement. A written document that creates a legal interest in real property that restricts the use the property to avoid interference with the wind resource on another property.

Wind Energy System (WES). Equipment and associated facilities that convert and then store or transfer energy from the wind into usable forms of energy. Source: § 66.0403(1)(m), Wis. Stats.

Wind energy system easement. A written document that creates a legal interest in real property that permits an owner to place, construct or operate a wind turbine or other wind energy system facility on the property.

Wind energy system emergency. A condition or situation at a wind energy system that presents a significant threat of physical danger to human life or a significant threat to property or a natural event that causes damage to wind energy system facilities.

Wind energy system facility. Any component of a wind energy system, such as a wind turbine, collector circuit, access road, electric system interconnection facility or operation and maintenance facility.

Wind energy system lease. A written agreement between a landowner and an owner of a wind energy system that establishes the terms and conditions associated with the placement, construction or operation of a wind turbine or other wind energy system facility on a landowner's property.

Wind Turbine. A WECS that converts wind energy into electricity through use of a wind turbine generator and includes such elements as a wind turbine generator hub, blade or rotor, tower, inverter, change controller and dump load, transmission wiring and controls and (possibly) battery bank and/or utility interconnecting equipment.

Wind Turbine Hub. An electric power generator to which the blade or rotor of a wind turbine is attached.

Wireless Telecommunication Antenna. The physical device through which electromagnetic, wireless telecommunications signals authorized by the Federal Communications Commission are transmitted or received. Antennas used by amateur radio operators are excluded from this definition.

Wireless Telecommunications Equipment Building. The structure in which the electronic receiving and relay equipment for a wireless telecommunications facility is housed.

Wireless Telecommunications Facility. A facility consisting of the equipment and structures involved in receiving telecommunications or radio signals from a mobile radio communications source and transmitting those signals to a central switching computer which connects the mobile unit with the land-based telephone lines.

Wireless Telecommunications Tower. A structure intended to support equipment used to transmit and/or receive telecommunications signals, including monopoles, guyed and lattice construction steel structures.

Yard Terms.

1.

Yard. The area of the same lot between the lot line and the building line, unoccupied and unobstructed by any portion of a building or structure from the ground upward, except as otherwise provided herein. (See Figure 10, Yard Terms.)

2.

Front yard. The area extending across the full width of a lot the depth of which shall be the perpendicular distance between the existing or proposed road right-of-way or and the principal structure. (See Figure 10, Yard Terms.)

3.

Rear yard. The area extending across the full width of the lot, the depth of which shall be the distance between the rear lot line and a line parallel thereto through the nearest point of the principal structure. (See Figure 10, Yard Terms.)

4.

Side yard. The area extending from the front yard to the rear yard of the lot, the width of which shall be the distance between the side lot line and a line parallel thereto through the nearest point of the principal structure. (See Figure 10, Yard Terms.)

Figure 10: YARD TERMS

Figure 10: YARD TERMS

Zone A. For wellhead protection Zone A equals the five-year time of travel (TOT). The five-year TOT is the recharge area inside the boundary from which it is determined or estimated that groundwater will take five years to reach the pumping well. Where estimates or engineering are not available Zone A may be determined to be a set distance from the municipal well(s).

Zone B. For wellhead protection Zone B equals the ten-year time of travel (TOT). The ten-year TOT is the recharge area between the five-year time of travel and a boundary from which it is determined or estimated that groundwater will take ten years to reach a pumping well. Where estimates or engineering are not available Zone B may be determined to be a set distance from Zone A boundary.

Zone C. The outer edge of the recharge area where any portion of the recharge area is farther from the municipal well(s) than the Zone B boundary.

Zoning Administrator. A person appointed by the Director of the Conservation, Planning, and Zoning Department to administer and enforce this Ordinance or his/her designee.

Zoning Amendment. A change in the text and/or district map of the existing Zoning Ordinance which is approved under the terms of this Ordinance.

Zoning and Planning Agency. A committee established pursuant to Wis. Stats., 59.69(2).

Zoning Map. The Zoning District Map of the County of Marathon, Wisconsin.

Zoning Permit. The zoning permit, as used in this Chapter.

Zoning Permit—Special. A permit issued for the construction or placement of a structure which complies with § 59.692(1v), Wis. Stats.

(O-34-23; O-21-24)

Footnotes:
--- (2) ---

See: https://www.census.gov/naics/ for detailed descriptions of all of the NAICS categories referenced in the above definitions.


--- (3) ---

See: https://www.census.gov/naics/ for detailed descriptions of all of the NAICS categories referenced in the above definitions.