USE REGULATIONS1
Editor's note— Secs. 1 and 2 of Ord. No. 2018-6, adopted February 21, 2018, deleted and replaced Ch. 6 in its entirety to read as herein set out. Former Ch. 6 pertained to Residence Districts, consisted of §§ 6-1—6-5, and derived from Ord. No. 05-26, adopted August 1, 2005; and Ord. No. 2018-7, adopted March 21, 2018.
6-1.1.
General Provisions. The following general provisions apply to the uses outlined in this section.
a.
A lot may contain more than one principal use, unless otherwise specified.
b.
Each of the principal uses may function as either a principal use or accessory use on a lot, unless otherwise specified.
c.
Uses are either permitted by right in a district, permitted by right with conditions, or require a Special use permit (refer to Sec. 13-6) in order to be developed.
d.
In the MX districts, each use shall be located within a permitted building type (refer to Sec. 8-4), unless otherwise specified.
e.
Each use shall be located indoors (within a building), unless otherwise expressly stated.
6-1.2.
Table of Principal Uses. Table 6.1 identifies the principal uses allowed in each zoning district. Principal uses are defined in 6-2. Principal Uses, and each defined use is given one of the following designations.
a.
Use Definitions. Uses and use categories listed in Table 6.1 are defined in this chapter for each category.
b.
Permitted Use ("●"). Uses designated with "●" are permitted by-right in the districts in which they are listed, in all locations within the building, unless otherwise noted.
c.
Permitted in Limited Building Locations ("◓"). Uses designated with "◓" are permitted by-right in the districts in which they are listed, provided that the uses are located in the upper stories of the structure, in the ground story beyond a depth of at least 20 feet from the front facade, or within any basement.
d.
Requires Special Use Permit ("○"). Uses designated with "○" require a special use permit approved by the city council (refer to 13-6) in order to occur in the districts in which they are listed. The use must meet any development standards defined for the use in this section as well as meet any requirements of the special use approval. The use may occur anywhere in the building, unless otherwise specified.
e.
Permitted with Development Standards ("◐"). Uses designated with "◐ are permitted in the districts in which they are listed, provided that they are developed per the conditions and standards established by this chapter. These conditions, combined with the building type requirements, are intended to help alleviate any negative impacts associated with the use, making it appropriate in a district where it otherwise might not have been appropriate. The use may occur anywhere in the building, unless otherwise specified.
f.
Prohibited Use. A blank cell in the use table indicates that the use is prohibited in that district.
6-1.3.
Use Categories. Uses are grouped by category, which are further broken into subcategories and specific use types. For example, the Retail Uses include a subcategory of uses for Neighborhood Retail and specific uses such as Beer/Wine/Liquor Sales.
6-1.4.
Unlisted Uses. The following applies to uses or use categories that are not specifically listed in Table 6.1.
a.
Unlisted Similar Uses.
1.
If a use is not listed but is substantially similar in nature and impact to a use permitted within a zoning district, the zoning officer is authorized to interpret the use as permitted. Such unlisted use is subject to any use-specific conditions applicable to the similar permitted use.
2.
If the unlisted use is substantially similar in nature and impact to a use requiring a Special use permit, the zoning officer is authorized to interpret the use as also requiring a Special use permit.
3.
If the unlisted use is substantially similar in nature and impact to a use that is prohibited, the zoning officer is authorized to interpret the use as prohibited.
b.
Unlisted Dissimilar Use. If a use is not listed and cannot be interpreted as similar in nature and impact to a use within a zoning district that is either permitted or requires a Special use permit, the use is prohibited.
6-1.5.
Building Types in the MX Districts. In the MX districts, the uses permitted within the district may be further limited within the building types permitted in the district. Refer to Sec. 8-4 Building Types.
TABLE 6.1. PERMITTED USES BY DISTRICT
(Ord. No. 2018-6, § 2, 2-21-18; Ord. No. 2024-16, § 1, 9-18-24)
6-2.1.
Residential and Lodging Uses. Residential and Lodging Uses are uses that include several residence types.
a.
Household Living. Household living is a category including the use of one or more dwelling units located within the principal structure of a lot by a household. A dwelling unit is a set of rooms, including a kitchen and at least one full bathroom, designed for cooking, living, and sleeping.
1.
One-Unit Dwelling. One principal dwelling unit located on a lot that does not contain any other principal dwelling units and does not share walls with another unit.
2.
2-Unit Dwelling. Two principal dwelling units, both of which are located on the same lot, with no other principal dwelling units located on the same lot.
3.
3-Unit Dwelling. Three principal dwelling units, all 3 of which are located on the same lot, with no other principal dwelling units located on the same lot.
4.
Converted House. A principal structure originally designed for one-unit dwelling use, converted to accommodate up to 4 units with the following development standards:
(a)
Size. Each unit shall at least 500 square feet of usable floor area.
(b)
Stairs. Exterior stairs to the upper floors are not permitted on any street facade.
5.
Row Dwellings (maximum 4 units). Vertically oriented dwellings with shared walls. A maximum of 4 units sharing walls within one building is allowed on one lot. Each unit may be located on its own lot or all units may be on one lot with common exterior space.
6.
Row Dwellings (maximum 8 units). Vertically oriented dwellings with shared walls. A maximum of 8 units sharing walls within one building is allowed on one lot. Each unit may be located on its own lot or all units may be on one lot with common exterior space.
7.
Multiple-Unit Dwelling. Four or more principal dwelling units, all of which are located on the same lot.
b.
Bed and Breakfast. A facility providing temporary lodging to the general public consisting of no more than 6 sleeping rooms with daily room cleaning services, without in-room kitchen facilities, in either an owner-occupied principal structure or in a principal structure on the same lot of an owner-occupied accessory structure.
c.
Community Residence. A facility where a group of persons other than a household resides together with a common purpose or goal, with no medical or social care in house. The permanent lodging includes separate sleeping facilities and communal kitchen and living rooms. Examples include convents, seminaries, monasteries, dormitories, fraternity and sorority houses, children's homes, and rooming houses.
d.
Group Home for 8 or Fewer Persons. A state-licensed facility offering temporary, transitional lodging to the general public consisting of sleeping rooms with or without in-room kitchen facilities and for the purposes of rehabilitation. Includes such uses as transitional housing, halfway houses, addiction rehabilitation, physical rehabilitation facility. When noted as subject to development standards or requires a special use permit in Table 6.1, the following applies:
1.
The facility shall have no more than 8 residents at any given time plus necessary staff persons.
2.
The facility shall include in-house-provided medical, psychological, and/or social care.
e.
Hotel/Inn. A facility offering short-term, temporary lodging to the general public with daily room cleaning services, and consisting of an unlimited number of sleeping rooms with or without in-room kitchen facilities. Secondary service uses may also be provided, such as restaurants and meeting rooms. When noted as subject to development standards or requires a special use permit in Table 6.1, the following applies:
1.
Temporary lodging is permitted for up to 30 days within a 6-month period.
2.
Rooms shall be accessed from the interior of the building.
3.
Exterior stairs to upper stories are not permitted on any street facade.
f.
Residential Care. A facility offering temporary or permanent lodging to the aged or physically-limited population consisting of sleeping rooms with or without in-room kitchen facilities. The facility must include some level of assistance with daily activities and in-house-provided medical and/or social care. Includes such uses as assisted living facilities, rest homes, nursing homes, and hospice care.
6-2.2.
Civic and Institutional Uses. Civic and Institutional Uses are uses related to fulfilling the needs of community life, cultural support, congregation, and social interaction.
a.
Assembly. A facility that has organized services, meetings, or programs to benefit, educate, entertain, or promote discourse amongst the residents of the community in a public or private setting, generally with little or no relationship to commerce. Includes places of worship, community centers, convention centers, performing arts venues. When noted as subject to development standards or requires a special use permit in Table 6.1, the following applies:
1.
Facilities over 5,000 gross square feet require a special use permit.
2.
In the MX districts, assembly uses are not permitted on the ground story of a Storefront building.
3.
Traffic and parking impacts shall be addressed.
4.
Parking facilities shall be shared with a neighboring use through a shared-use agreement (see 8-17-2).
b.
Government/Higher Education/Hospital Facilities. Large-scale, multiple building, community-serving facilities associated with healthcare, universities, colleges, or government functions. Includes such uses as universities, theological schools, city hall, government offices, and hospitals. Does not include vocational or trade schools. When noted as subject to development standards or requires a special use permit in Table 6.1, the following applies:
1.
The facility is required to maintain a campus master plan that includes, but is not limited to, the location of buildings, uses, parking, vehicular traffic, pedestrian facilities and amenities, and connectivity to surrounding parcels and uses.
c.
Fire/Police Station. A facility providing public safety and emergency services; training facilities, and locker rooms. Limited overnight accommodations may also be included. Fire/Police Stations are permitted in applicable districts with the following development standards:
1.
Garage doors are permitted on the front facade.
2.
Exempt from maximum driveway widths.
d.
Libraries, Museums. A facility open to the general public housing educational, cultural, artistic, or historic information, resources, and exhibits. May also include accessory food service and a gift shop.
e.
Schools: Elementary, Secondary. An education facility for pre-kindergarten through 8th grade with classrooms and offices, that may also include associated indoor facilities such as ball courts, gymnasium, theater, and food service. Parking facilities may be provided for faculty, administration, staff, and visitors, but not students.
f.
Schools: High School & Higher Education. An education facility with classrooms and offices for grades 9 through 12, and for non-profit institutions (colleges and universities) offering post-secondary education (public or private) and granting associate or bachelor degrees. Does not include trade or vocational schools. The use may also include associated indoor facilities such as ball courts, gymnasium, theater, and food service. Parking facilities may be provided for faculty, administration, staff, visitors, and students.
g.
Transit Station. A building or platform primarily used as part of a transit system (rail, water, and/or bus) for the purpose of boarding and alighting passengers from one mode to another. May include a station building, platforms, park and ride lots, bus stops, waiting facility, ticket office, restrooms, concessions, and other similar facilities.
h.
Park/Recreational Area. A use of land for active or passive, outdoor space available to the general public. Includes such uses as parks, plazas, greens, parklets, playfields, playgrounds, and tot lots for general recreation, athletics, and leisure. This use generally has little or no relationship to commerce. May include historic structures/monuments, ornamental gardens, or arboretums. May be associated with an assembly or school use. Park uses may also be utilized to host temporary private or community events, such as a farmer's market or art fair. See also Intensive Park.
When noted as subject to development standards or requires a special use permit in Table 6.1, the following apply:
1.
Parking. Parking lots are not permitted in parks in any district except by special use approval.
2.
Stormwater Accommodations. Parks that incorporate stormwater management on a site or district scale are encouraged.
(a)
Stormwater facilities shall be designed to accommodate additional uses, such as an amphitheater or a sports field.
(b)
Stormwater facilities shall be designed not to be fenced and shall not impede public use of the land they occupy.
i.
Intensive Park Uses. A category of more intensive, generally outdoor park uses that are more impactful to the land and surrounding area, and that may charge fees for use or limit the users. Includes such uses as golf courses, riding stables, zoos, campsites, group camps, botanical gardens. Does not include outdoor entertainment uses per 6-2.4.e.
6-2.3.
Retail Uses. A category of uses involving the sale of goods or merchandise to the general public for personal or household consumption.
a.
Neighborhood Retail. A retail use that typically provides goods for neighborhood residents and that is small in scale, with limited parking and traffic impacts. Neighborhood retail uses occupy a gross space of less than 5,000 square feet and includes uses that are not otherwise listed separately in Table 6.1 or in the General
Retail category in Table 6.1. Neighborhood retail includes such uses as those listed in Figure 6-1. List of Typical Uses in Retail Category.
b.
General Retail. A retail use that includes all neighborhood retail uses without limitation to size and larger and/ or more impactful retail uses, typically serving the larger community or region. Includes such uses as those listed in Figure 6-1. List of Typical Uses in Retail Category.
c.
Artisan Studio/Retail. A use involving the creation of art works, custom goods, or small-scale production, assembly, and/or repair through the use of hand tools and small-scale equipment with little to no noxious by-products. Use must include a showroom or small retail outlet selling art and/or goods produced. Includes such uses as those found in Figure 6-3. List of Typical Uses in Artisan Studio/Retail Category. The following conditions apply:
1.
The maximum overall gross floor area is limited to 10,000 square feet, unless otherwise noted.
2.
A showroom, taproom, tasting room, or retail outlet shall be located in the front of the building and shall occupy a minimum of 25% of the gross floor area. The space shall be generally opened to the public during regular shopping hours and shall sell the products produced on-site.
3.
This use may also include associated facilities such as offices and small-scale warehousing, but distribution is limited to no more than 2 vans and small trucks. Distribution access shall be from the rear.
d.
Beer/Wine/Liquor Sales. A use involving the sale of alcoholic beer, wine, and/or liquor not to be consumed on the premises, with such sales to be made only in sealed bottles or other containers. Sale of beer, wine, and liquor requires additional permitting from the city and state.
When noted as subject to development standards or requires a special use permit in Table 6.1, the following apply:
1.
Proximity to Other Beer/Wine/Liquor Sales. No beer/wine/liquor sales use shall be located within a 1,500-foot radius in any direction of any lot where beer/wine/liquor sales are located.
2.
Proximity to Certain Uses. No beer/wine/liquor sales use shall be located within a 500-foot radius of any part of a lot used or reserved to be used for the purposes of a school, library, park, hospital, or assembly.
3.
Food Store/Convenience Store. A food store, grocery store or convenience store shall have no more than 5 percent of its net floor area dedicated to the sale of beer/wine/liquor.
e.
Commercial Equipment & Supply. A use involving the large-scale sale of goods to residents or businesses within the region. This use may include bulk sales and typically involves frequent commercial vehicle and consumer traffic. This use is primarily located indoors, but may also include accessory outdoor storage of goods. This includes such uses as those listed in Figure 6-2. List of Typical Uses in Commercial Equipment and Supply Category.
f.
Discount Variety Store. A use involving the sale of a wide variety of daily consumer retail goods at a discount price, especially multiple items for one dollar, and commonly known as dollar stores or five and dime stores.
When noted as subject to development standards or requires a special use permit in Table 6.1, discount variety stores shall not be located less than 3,000 feet from another discount variety store.
g.
Outdoor Sales Lot. A use involving the sale of goods or merchandise to businesses and/or the general public, where the majority of the goods are stored or displayed outdoors. Outdoor sales lots include such uses as: the sale and rental of automobiles, trucks, trailers, boats, and recreational vehicles and equipment (trampolines); and the outdoor sale of building materials, landscape materials, and garden supplies. When noted as subject to development standards or requires a special use permit in Table 6.1, the following applies:
1.
Outdoor sales lots are not permitted on corner parcels.
2.
Outdoor sales lots must include permanent construction of a building.
Figure 6-1. List of Typical Uses in Retail Category
Figure 6-2. List of Typical Uses in Commercial Equipment and Supply Category
Figure 6-3. List of Typical Uses in Artisan Studio/Retail Category
6-2.4.
Service Uses. A category of uses that provide patrons services and limited retail products related to those services. Visibility and accessibility are important to these uses; walk-in customers and by-appointment clients are typically both accommodated.
a.
Neighborhood Service. A service use that typically provides services to neighborhood residents and that is small in scale, with limited parking and traffic impaces. Neighborhood service uses are limited to a space of less than 5,000 square feet and includes uses that are not otherwise listed separately in Table 6.1 or in the General Service category in Figure 6-4. Typical neighborhood service includes such uses as those listed in Figure 6-4. List of Typical Uses in Service Category.
b.
General Service. A service use that includes all neighborhood service uses without limitation to size and larger and/or more impactful retail uses, typically serving the larger community or region. Includes such uses as those listed in Figure 6-4. List of Typical Uses in Service Category.
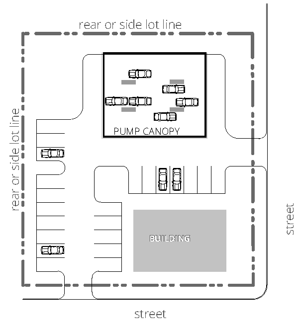
c.
Automobile Fueling Station & Minor Repair. An establishment for the sale and dispensing of fuel, oil changes, battery, tire, muffler, glass replacement, and other minor repairs for vehicles. This use requires a special use approval ("○") and the following applies:
1.
Fueling Locations. Up to 6 fueling locations are permitted in the rear or interior side yard.
2.
Limited Service. A maximum of 2 bays for vehicle servicing is permitted, located on the interior side or rear of the building.
3.
Proximity Restriction. No automobile fueling & minor repair use shall be located within a 1,200-foot radius of another automobile fueling & minor repair use.
4.
Permitted Types of Repair Service. Repairs include minor engine repairs; and repairs and replacement of cooling, electrical, fuel and exhaust systems; brake adjustments, relining and repairs; wheel alignment and balancing; and repair and replacement of shock absorbers. Engine rebuilding, bodywork, and painting are not permitted.
5.
Vehicle Outdoor Storage. Disabled or inoperable vehicles and those awaiting pick-up may be stored outdoors if all of the following occur:
(a)
No more than 4 vehicles are stored for no more than 2 days each.
(b)
The storage area is located in the rear yard screened from view of the front lot line.
6.
Outdoor Activities. All repairs or washing activities must occur inside a structure.
7.
Car Wash Facility. One single bay, car wash bay facility associated with the fueling station is permitted, located in the rear of the lot. A vacuuming station is permitted on the exterior.
8.
Convenience Store/Building. A building, such as those typically associated with a fueling station, shall occupy any corner of the lot at the intersection of two streets. The building must have an entrance directly off the public sidewalk. Refer to Figure 6-5. Example of a Fueling Station for one illustration of a compliant fueling station.
9.
Drive Entrance. Up to 2 driveway access points are permitted on the lot, maximum width 22 feet.
d.
Automobile Major Service/Car Wash. An establishment for major and minor repairs and cleaning of motor vehicles. Includes such uses as, and major service and repair. Where this use requires a special use approval ("○"), the following applies:
1.
Service. A maximum of 6 bays for vehicle servicing is permitted.
2.
Proximity Restriction. No automobile fueling, major or minor repair use shall be located within a 1,200-foot radius of another automobile fueling & minor repair use.
3.
Permitted Types of Service and Repairs. Repairs include all service and repairs except painting.
4.
Vehicle Outdoor Storage. Disabled or inoperable vehicles and those awaiting pick-up may be stored outdoors if all of the following occur:
(a)
No more than 8 vehicles are stored for no more than 2 days each outside enclosed storage.
(b)
More than 8 vehicles may be stored within an enclosed storage area, screened from view of the front lot line by an opaque fence.
5.
Outdoor Activities. All repairs or washing activities must occur inside either a structure or an outdoor area fully enclosed by an opaque fence in the rear of the lot.
6.
Car Wash Facility. A multiple bay car wash facility is permitted. A vacuuming station is permitted on the exterior.
e.
Convenient Cash Business. An establishment primarily engaged in the business of lending money on the security of pledged goods left in pawn; purchasing tangible personal property to be left in pawn on the condition that it may be redeemed or repurchased by the seller; exchanging currency; and/or providing cash to patrons for payroll, personal, and bank checks.
When noted as subject to development standards or requires a special use permit in Table 6.1, the following apply:
1.
Convenient cash businesses may not be located within 2,500 feet of any other convenient cash business.
2.
Convenient cash businesses may not be located within 250 feet of a residential district, as measured by the shortest line between the parcel to be occupied by the proposed convenient cash facility and the property line of the nearest R-zoned property.
3.
Convenient cash businesses may not operate between the hours of 9:00 p.m. and 9:00 a.m.
4.
Businesses must keep a glass entrance and exit doors with all windows clear of any signs or advertisements.
f.
Outdoor Entertainment. A facility that offers commercial, primarily outdoor entertainment and recreation opportunities, including such uses as batting cages, go-cart tracks, "par 3" golf courses, driving ranges, miniature golf, outdoor skating rinks, drive-in theater.
Figure 6-4. List of Typical Uses in Service Category
Figure 6-5. Example of a Fueling Station
Figure 6-6. List of Typical Uses in Office Category
6-2.5.
Employment Uses. A category of uses that provides spaces for a variety of employment uses, such as office spaces, training facilities, and studio space for crafting.
a.
Office. A category of uses for professional, governmental, executive, management or administrative offices of private organizations or government agencies. Patrons of these businesses usually have set appointments or meeting times; the businesses do not typically rely on walk-in customers. May include classrooms, conference rooms associated with the use. Typical office uses include those listed in Figure 6-5. List of Typical Uses in Office Category.
b.
Research Laboratories. An establishment that conducts educational, scientific, high technology, or medical research not involving the mass production, distribution, or sale of products. Research laboratories do not produce odors, dust, noise, vibration or other external impacts that are detectable beyond the property lines of the subject property. Research-related establishments that do produce such external impacts are classified as industrial services.
6-2.6.
Infrastructure Uses. A category of uses for the provision of public and private infrastructure to support other uses. Infrastructure uses typically do not include a principal building meeting the building type requirements. Accessory structures may be included.
a.
Parking Lot (Surface). A lot that does not contain a permitted building and is solely used for the parking of vehicles. When noted as subject to development standards or requires a special use permit in Table 6.1, the following apply:
1.
Corner Lots. A corner lot shall not be used as a parking lot.
2.
Abutting Parking Lots. Two parking lots shall not be located directly abutting to one another.
3.
Residential. A surface parking lot as a principal use on its own lot may not be associated with residential and lodging use.
4.
Distance. Parking lot shall be within a quarter mile (or 1,320 feet) of the principal entrance to the associated use unless:
(a)
At least 75% of the spaces are dedicated for public use.
(b)
An approved joint parking agreement is in place.
5.
Pedestrian Access. Lot shall be connected to associated use by a dedicated, public sidewalk.
6.
Commercial Vehicles. Parking lots for commercial vehicles are permitted only in M districts.
b.
Parking Structure. A parking structure on a lot that does not contain a permitted building type and is solely used for the parking of vehicles. When noted as subject to development standards or requires a special use permit in Table 6.1, the following apply:
1.
Corner Lots. A corner lot shall not be used for a parking structure.
2.
Abutting Parking Lots. Two principal use parking facilities (lots or structures) shall not be located directly abutting to one another.
3.
Primary Streets. No facade of the parking structure shall be located on a primary street. For parking structures located on a primary street, a permitted building type shall be utilized, requiring occupied space per the building type requirements.
4.
Distance. Parking structure shall be within 1,320 feet or a quarter mile walking distance of the principal entrance to the associated use unless one of the following applies:
(a)
At least 75% of the spaces are dedicated for public use.
(b)
An approved parking agreement is in place.
5.
Pedestrian Access. Structure shall be connected to any associated use by a dedicated, public sidewalk.
6.
Commercial Vehicles. Parking structures for commercial vehicles are permitted only in M districts.
7.
General Design Requirements. Compliance with building type regulations is not required; however, special design requirements defined by the City Council shall be met.
c.
Transportation and Utilities Uses. A lot that is primarily utilized for the City's infrastructure needs. Transportation and utilities includes such uses as street rights-of-way, rail rights-of-way, electric or gas services, sewage treatment, water treatment and storage, pumping stations, transmission and receiving stations, and energy conversion systems. Does not include heavy transportation uses per 6-2.7.e.
When noted as subject to development standards or requires a special use permit in Table 6.1, the following apply:
1.
The total lot coverage of all buildings and structures shall be not more than 30 percent of the area of the lot.
2.
All buildings and structures shall be set back from every adjacent property a minimum distance of 25 feet and, in addition, not closer than 50 feet from any adjacent residential property, except that any tower shall be set back a minimum distance of that equal to the height of the tower from any adjacent residential property.
3.
Transformers shall be located within buildings.
4.
Any electric or other utility lines between the infrastructure and the street shall be underground.
5.
The infrastructure shall be screened from any adjacent residential property by a solid fence or planting screen which shall provide year-round screening.
6.
In the MX districts, transportation and utilities are not required to satisfy a building type.
6-2.7.
Industrial Uses.
a.
Dispatch/Warehousing/Distribution. A category of uses involving the storage of goods, distribution of goods, and the dispatching of services with limited negative external effects except substantial commercial vehicle access, loading, and parking, and large-scale indoor or outdoor storage of goods. Does not include motor freight terminals (see d. below). Typical uses include those listed in Figure 6-7. List of Typical Uses in the Industrial Category.
b.
Limited Industry. A category of uses involving the manufacturing of finished parts or products, primarily from previously prepared materials that typically have very few, if any, negative external impacts on surrounding properties. Also includes any Artisan Studio uses that do not comply with the conditions associated with that use category. [2] Typical uses include those listed in Figure 6-7. List of Typical Uses in the Industrial Category.
When noted as subject to development standards or requires a special use permit in Table 6.1, the conditions of use for each manufacturing district and the general performance standards, noise, vibration, smoke and particulate matter, odor, toxic matter, fire and explosive hazards, and glare requirements defined in Chapter 8 (sections 8-4 through 8-12) shall apply.
c.
General Industry. [3] A category of uses involving the manufacturing of finished or unfinished products, primarily from extracted or raw materials, or recycled or secondary materials. Also includes the repair or servicing of industrial or commercial machinery, equipment, products, or by-products. Also includes any establishment, other than natural resource extraction, that produces odors, dust, noise, vibration, or other external impacts that are detectable beyond the property lines of the subject property. Typical uses include those listed in Figure 6-7. List of Typical Uses in the Industrial Category.
When noted as subject to development standards or requires a special use permit in Table 6.1, the conditions of use for each manufacturing district and the general performance standards, noise, vibration, smoke and particulate matter, odor, toxic matter, fire and explosive hazards, and glare requirements defined in Chapter 8 (sections 8-4 through 8-12) shall apply.
d.
Intensive Industry. A category of uses that involves natural resource extraction, rock crushing, and waste-related uses. Typical uses include sanitary landfills; garbage, refuse, and trash dumping and/or disposal; stone and gravel quarries and crushing, grading, washing and loading equipment and structures.
When noted as subject to development standards or requires a special use permit in Table 6.1, the conditions of use for each manufacturing district and the general performance standards, noise, vibration, smoke and particulate matter, odor, toxic matter, fire and explosive hazards, and glare requirements defined in Chapter 8 (sections 8-4 through 8-12) shall apply.
e.
Intensive Transportation Uses. A category of uses involving heavy transportation terminals, parking, freight, and operations. Typical uses include airport, motor freight terminal, railroad freight terminal, railroad roundhouses, maintenance/switching yards.
When noted as subject to development standards or requires a special use permit in Table 6.1, the conditions of use for each manufacturing district and the general performance standards, noise, vibration, smoke and particulate matter, odor, toxic matter, fire and explosive hazards, and glare requirements defined in Chapter 8 (sections 8-4 through 8-12) shall apply.
6-2.8.
Agricultural Uses.
a.
Apiary. The keeping of one or more colonies of the common domestic honey bee, Apis Mellifera. Colonies include a hive and its equipment and appurtenances, including bees, comb, honey, pollen, and brood. When noted as subject to development standards in Table 6.1, the following apply:
1.
Maximum Number of Colonies. Any lot where permitted shall be limited to 10 colonies per lot.
2.
Colony Size. No colony shall exceed 20 cubic feet in volume.
3.
Location. No colony shall be located closer than 10 feet from any property line, or closer than 10 feet from a public sidewalk or 25 feet from a principal building on an abutting lot.
4.
Flyaway Barrier. A flyway barrier of at least 6 feet in height must shield any part of a property line within 25 feet of a colony, unless the base of the colony is located more than 6 feet above the ground.
(a)
A required flyway barrier shall consist of a wall, fence, dense vegetation, or a combination thereof.
(b)
The barrier shall be positioned to transect both legs of a triangle extending from an apex at the colony to each end point of the part of the property to be shielded.
b.
Community Garden. The use of land for vegetable, fruit, or flower gardening by individuals or groups who may or may not own or lease the subject land.
c.
Nurseries and Greenhouses. A principal use involving the propagation and growth of plants in containers or in the ground for wholesale sales and distribution.
d.
Farmer's Market. A temporary or permanent outdoor market open to the public, operated by a governmental agency, a nonprofit corporation, or one or more producers where at least 75% of the displayed inventory of products sold consists of farm products or value-added farm products; and at least 75% of the vendors during the market's hours of operation are producers, or family members or employees or agents of producers.
e.
Urban Farm. A ground or roof-level, open-air agricultural operation less than 10 acres in size, with vegetables, fruit, or flowers generally grown for commercial sale, whether for profit or non-profit, with a single entity serving as the primary operator.
Figure 6-7. List of Typical Uses in the Industrial Category
6-2.9.
Other Category.
a.
Sexually Oriented Business. Refer to Chapter 26½ of the City's Code of Ordinances for definition and requirements of any sexually oriented business.
b.
Medical Cannabis Dispensing Center. Medical Cannabis Dispensing Center as defined by the State of Illinois Compassionate Use of Medical Cannabis Act.
c.
Medical Cannabis Cultivation Center. Medical Cannabis Cultivation Center as defined by the State of Illinois Compassionate Use of Medical Cannabis Act.
(Ord. No. 2018-6, § 2, 2-21-18)
Existing code; "use involving the production, processing, cleaning, servicing, testing, repair or storage of materials, goods or products which shall not by injurious or offensive to the occupants of adjacent premises by reason of the emission of or creation of noise, vibration, smoke, dust, or other particulate matter, toxic or noxious materials, odors, fire or explosive hazards, or glare or heat."
Existing code: "production, processing, cleaning, servicing, testing, repair or storage of materials, goods or products."
Accessory uses are not permitted to serve as the principal use on a zoning lot. These uses are incidental to and customary in connection with the principal building or use and located on the same lot with such principal building or use.
6-3.1.
Table of Accessory Uses. Table 6.2 Table of Accessory Uses presents a listing of expressly allowed accessory uses. Each of the listed accessory uses is given one of the following designations.
a.
Permitted ("●"). These accessory uses are permitted by right in the districts in which they are listed.
b.
Permitted Subject to Development Standards ("◐"). Accessory uses are permitted by right in the districts in which they are listed, provided that they comply with the use-specific conditions of this section 6-3.
c.
Requires a Special Use Permit ("○"). Accessory uses designated with "0" require a special use permit approved by the city council (refer to 13-6) in order to occur in the districts in which they are listed. The use must meet any development standards defined for the use in this section as well as meet any requirements of the special use approval.
TABLE 6.2. PERMITTED ACCESSORY USES BY DISTRICT
6-3.2.
Accessory Residential Uses.
a.
Accessory Dwelling Unit. A dwelling unit that is associated with and is incidental to another dwelling unit which serves as the lot's principal use. All units must be located on the same lot. A dwelling unit is a set of rooms, including a kitchen and at least one full bathroom, designed for cooking, living, and sleeping.
When noted as subject to development standards or requires a special use permit in Table 6.2, the following regulations apply:
1.
No more than one accessory dwelling unit is permitted on a single lot.
2.
The unit may be located within the principal dwelling unit (internal) or in a detached accessory outbuilding, where permitted and in the rear yard only.
3.
The floor area of the unit may not exceed 50% of the floor area within the principal dwelling unit.
4.
The private property owner shall reside within the, principal dwelling unit on-site.
b.
Home Child Care. Supplementary, temporary care of children, unrelated to the caregiver, on a regularly recurring basis for a portion of one or more days in the week, and provided in the home of the caregiver.
When noted as subject to development standards or requires a special use permit in Table 6.2, the following apply:
1.
Limited Attendees. More than 6 and fewer than 12 children may be cared for at a time. Fewer than 6 children is considered a Home Occupation (refer to 6-3.2.c). Twelve or more children is considered principal service use (refer to 6-2.4.).
2.
Outdoor Play Area. Home Child Care shall include a fenced outdoor play area.
3.
Accessory Use. Home Child Care may only be an accessory use to the principal use of Household Living.
4.
State Licensing Requirements. All applicable state licensing requirements shall be met.
5.
Revocation. The code enforcement director shall have discretion to revoke any permit for home child care if such use is a nuisance to neighboring properties.
c.
Home Occupation. A use that is clearly subordinate to the principal use as a residence, is customarily conducted within the dwelling unit by one or more members of the occupying household, and does not alter the exterior of the building or its appearance.
Included Uses. Home Occupation includes the following and other uses deemed similar by the zoning officer: accountant, artist, attorney, author, computer operator or programmer, childcare of 6 or fewer children, designer (computer, graphic, architect, interior, etc.), home crafts, seamstress or tailor, sales person or representative (no on-site retail or wholesale transactions), tutoring, and instruction of craft and fine art.
When noted as subject to development standards or requires a special use permit in Table 6.2, the following apply:
1.
Advertisement. Offering, displaying or advertising any commodity or service for sale on the premises is prohibited, except that an identification sign is permitted in accordance with the regulations of 11-2.2.l Signs for Home Occupations.
2.
Outside Storage. No materials or products shall be stored outside of a building.
3.
Area. The customary home occupation shall not occupy more than 25 percent of the usable floor area of a dwelling unit in which the home occupation is operated.
4.
Employees. Employment is limited to any member of the immediate household residing in the dwelling unit plus one person not residing in the dwelling unit.
5.
Hours of Operation. Permitted hours of operation are 7 AM to 8 PM.
d.
Sleeping Quarters for a Caretaker. Sleeping quarters for one caretaker of an industrial facility, which may include a full kitchen or constitute a dwelling unit.
6-3.3.
Accessory Commercial Uses.
a.
Drive-Through Facility. A structure or facility where a driveway to a window or a set of parking spaces is defined with the intent to serve patrons while they remain in their vehicle, or to allow consumption of food or beverage obtained from the establishment within the patron's vehicle.
Refer to Figure 6-8 for one illustration of these requirements. When noted as subject to development standards or requires a special use permit in Table 6.2, the following apply:
1.
Associated Uses. The drive-through facility must be related to an eating place, financial depository institution/bank, laundromat & dry cleaner, or drug store.
2.
Structure/Canopy. Drive-through structures or canopies shall be located on the rear or interior side facade of the building or in the rear of the lot behind the building.
3.
Stacking Lanes. Stacking lanes shall be located perpendicular to the front lot line or behind the building.
4.
Materials. The canopy and structure shall be constructed of the same materials utilized on the building.
5.
Drive Locations. There shall be a minimum distance of 40 feet between any 2 curb cuts and a minimum distance of 25 feet between any curb cut and the corner of any corner lot which is at the intersection of 2 streets.
6.
Lot Requirements. There shall be a minimum lot area of 15,000 square feet and a minimum lot width of 120 feet;
7.
Proximity to Residential. The drive-through facility shall not be located directly abutting any lot in a residential district or any lot containing a dwelling.
Figure 6-8. Recommended Drive-Through
Facility Layout
b.
Outdoor Dining. Outdoor dining areas are permitted as accessory uses on any lot, provided a clear sidewalk area of at least 6 ft. is maintained.
c.
Outdoor Storage. Permanent outdoor storage of goods not typically housed or sold indoors, such as large-scale materials and building and landscape supplies. When noted as subject to development standards or requires a special use permit in Table 6.2, the following apply:
1.
Outdoor storage areas shall be located in the rear or side yard of the lot.
2.
Loose materials shall not be stacked higher than 6 feet.
3.
Loose materials shall at a minimum be stored in a 3-sided shelter and shall be covered.
4.
Materials shall be set back a minimum of 5 feet from any lot line.
5.
All outdoor storage areas shall be screened from view of adjacent parcels and street rights-of-way using fencing, walls, and landscaping.
d.
Parking Lot (Surface), Accessory. An uncovered paved surface used solely for the parking of vehicles, intended for use by the occupants in an adjacent building on the lot. In the MX districts, parking lot locations are regulated by building type regulations. Refer to Chapter 10 for additional parking requirements.
e.
Parking Structure, Accessory. A structure used solely for the parking of vehicles, intended for use by the occupants in an adjacent building on the lot. In the MX districts, parking structures within the buildings are regulated per building type. When noted as subject to development standards or requires a special use permit in Table 6.2, the following apply:
1.
Location. The parking structure shall be located behind the principal building and shall not be visible from the front lot line.
2.
Materials. Any portion of the parking structure fronting a non-primary street or visible from any street or the river in the MX districts shall meet the materials and color requirements of the building type. In all other districts, the materials shall match with the principal building materials.
3.
Ramps. Drive ramps sloped more than 1:20 shall not be located on a street facade.
4.
Height. The height of the separate structure must be lower than any part of the principal structure by a minimum of 6 feet.
f.
Utility Structures. Utility structures includes all communication, cisterns and rainwater collection, and mechanical equipment. When noted as subject to development standards or requires a special use permit in Table 6.2, the following apply:
1.
The equipment shall be located on a lot with a building and is a secondary use for the site.
2.
Roof-Mounted Location. Roof-mounted equipment shall be located per one of the following:
(a)
Pitched Roof. Locate the equipment on a rear facing surface of the roof, if feasible for communication purposes.
(b)
Flat Roof. Locate the equipment towards the rear portion of the roof, where visibility is limited from the street to the maximum extent possible.
3.
Ground-Mounted Location. Ground-mounted equipment is limited to the rear yard. Equipment may be located in the side yard if the equipment is screened from the street with an opaque wall, of the same or similar material of the street facade of the building.
4.
Height. The height of the equipment is either a maximum of 12 feet or the maximum that is not visible from any street sidewalk, whichever is greater.
6-3.4.
Alternative Energy Generation. Alternative energy generation includes structures for solar, wind, and geothermal.
a.
Roof- or Building-Mounted Solar Panels. Roof- or building-mounted solar panels are permitted with the following requirements:
1.
Panels mounted at the same angle of the roof or flush on the building facade are permitted on any roof or building face.
2.
Panels projecting off the roof or building at a different angle are limited to the rear and side facing roofs, unless solar access is limited in these locations.
3.
Panels shall not extend more than 10 feet above the surface of the roof to which they are attached. On pitched roofs, panels shall not extend more than 3 feet.
4.
Ground-Mounted Solar Panels. A solar energy system with a supporting framework that is placed on, or anchored in, the ground and that is independent of any building. Ground-mounted solar panels are permitted with the following requirements:
5.
Output. The system shall produce less than one megawatt of electricity.
6.
Size. A system in any MX, N, or NX district shall not exceed either the area of 50 percent of the principal building footprint or 600 square feet, whichever is greater.
7.
Maximum Height. The system shall be as close to the ground as practicable, and not taller than 20 feet on lots of at least 5 acres in the M districts, 12 feet on lots of at least 5 acres, and 6 feet on all other lots, all measured from the grade at the base of the pole to the highest edge of the system.
8.
Setbacks. All parts of the freestanding system shall be set back a minimum of 5 feet from the interior side and interior rear property lines and shall not be located in a public utility easement.
9.
Materials. Such system shall not include any unfinished lumber.
b.
Wind - Freestanding. Small wind energy systems that stand independent of a building structure.
1.
Output. The system shall produce less than one megawatt of electricity.
2.
Height. The height of any component of a small wind energy system shall not exceed 200 feet, as measured from the ground to highest point of the blade arc.
3.
Permitted Yard Location. Allowed only in the interior side and interior rear yards.
4.
[Front, Exterior Side, and Exterior Rear Yards.] Front, exterior side, and exterior rear yards may be allowed in non-residential districts with a special use permit provided there are no residential districts within 120 feet of any property line of the zoning lot where the turbine will be located.
5.
Setbacks. The base of the system shall be setback 1.1 times the height of the highest edge of the system from all property lines, overhead utility line poles, public sidewalks or trails, and public rights-of-way. Any system or any ancillary equipment shall not be located within any required setbacks of the respective zoning district.
6.
Installation. Small wind energy systems shall be installed only by professional installers certified to install wind turbines, and only pursuant to manufacturer specifications.
7.
Signs. Signage or writing of any kind is not permitted on any portion of any wind turbine, other than required manufacturer plates or safety labeling.
8.
Clearance. Minimum clearance between the lowest tip of the rotor or blade and the ground is 10 feet.
9.
Access. Climbing access (rungs or foot pegs) to the tower shall not start until 12 feet above grade to prevent unauthorized access.
c.
Wind Roof-Mounted. Wind energy systems that are attached to the roof of a building.
1.
Quantity. One turbine is allowed for every 750 square feet of the combined roof area of all structures on a zoning lot. For a pitched roof, each surface of the roof shall be included in the roof area calculation.
2.
Rated Capacity. A maximum rated capacity of 3 kilowatts per turbine is allowed.
3.
Height. The maximum height of 15 feet is measured from the roof surface on which the system is mounted to the highest edge of the system with the exception of any pitches 10:12 or greater.
4.
Above Roof Peak. The system shall not extend more than 5 feet above the highest peak of a pitched roof.
5.
Installation. Roof-mounted wind energy systems shall be installed only by professional installers certified to install wind turbines, and only pursuant to manufacturer specifications.
6-3.5.
Accessory Structures. All accessory structures shall fulfill the following development standards, unless otherwise stated.
a.
General Requirements. The following applies to all accessory structures unless otherwise stated:
1.
Yard. Accessory structures shall be located in the side and rear yards unless located within the open space/park district without a principal building.
2.
Setback. Accessory structures shall comply with the following setbacks:
(a)
Front and Corner Lot Lines. Accessory structures shall not extend closer to the front or corner lot line than the principal structure. In the absence of a principal structure, accessory structures shall be set back a minimum of 15 feet.
(b)
Side and Rear lot Lines. Minimum setback of an accessory structure shall be 5 feet.
3.
Building Coverage. All roofed accessory structures contribute to any maximum building coverage for the site and any maximum impervious coverage for the site.
4.
Height. The maximum height is 15 feet, except where a higher maximum height is otherwise expressly permitted.
5.
Materials. Materials shall match those of the principal structure when the accessory structure is greater than 300 square feet.
b.
Out Building and Garage. A fully enclosed building on a lot that is detached from the principal structure on the same lot. A principal structure is required, unless otherwise stated. Typical Out Buildings include garages, pool houses, workshops, barns, or sheds.
1.
Side and Rear Setback. Minimum side and rear setback shall be 5 feet.
2.
Height. The height may be one story or one story lower than the principal building.
3.
Residential Districts. A maximum of one out building shall be located on an R district lot.
4.
OS Districts. No principal structure is required. Uses may not include retail sales or service.
c.
Accessory Outdoor Structures. Accessory outdoor structures include accessory structures intended to be utilized outside within a yard. Includes such uses as ball courts, gazebos, landscape features, play equipment, swimming pools, decks and patios, dog runs, and flag poles.
1.
Decks and Patios. Decks and patios are permitted in all yards.
2.
Flag Pole. Flag poles are permitted in all yards with the exception of R district lots. Maximum height of a flag pole is 15 feet or the two-thirds the height of the principal structure, whichever is taller, except on lots zoned for civic-institutional uses, the maximum is 60 feet.
3.
Gazebo. A freestanding, roofed structure with open sides.
4.
Yard. Permitted in all yards.
5.
Setback. Must be set back at least 15 feet from front and corner side lot lines.
6.
Landscape Features.
7.
Definitions. This category of residential recreational and aesthetic landscape outdoor structures includes the following:
8.
Play Equipment. Recreational equipment for children, such as a sandbox, slide, climbing apparatus, skate board ramp, or swings.
9.
Ponds. Water gardens or fish ponds; small ponds that consistently contain water during the summer and warmer months; and any pond containing plants and/or aquatic life.
10.
Swimming Pool or Hot Tub. Any basin or other structure containing a minimum of 2 feet of water at any point in time for use by the resident, their family or guests. Temporarily erected plastic, canvas, or rubber pools that do not fulfill the depth requirement do not apply.
(Ord. No. 2018-6, § 2, 2-21-18)
6-4.1.
Temporary Outdoor Event. A temporary event such as a carnival, circus, street celebration, race, bazaar, market or other similar outdoor event.
a.
Refer to Chapter 5 - Amusements of the City's Code of Ordinances.
b.
Such events may be on a street, open space, parking lot, or other public space in which public access is wholly or partially restricted.
c.
The event may include the sale of goods.
d.
This temporary use is not intended to include public speeches, political rallies, political marches, protests, demonstrations or similar events.
6-4.2.
Temporary Construction Buildings. Temporary structures associated with a construction project, including: temporary buildings used to house offices associated with construction and/or sales and marketing for the development; and temporary storage and waste containers.
a.
Construction Structures are permitted in all yards.
b.
Construction Structures are only permitted in conjunction with open building permits and shall be removed when building permits are closed.
c.
Two Construction Structures are permitted per development project with one additional structure per every 2 acres of lot area.
d.
Wheels and chassis on temporary buildings shall be screened from the street by skirting.
6-4.3.
Temporary Storage Container. Temporary and transportable container for personal storage.
1.
The container's size is limited to no greater than 825 cubic feet or covering an area no greater than 180 square feet of area.
2.
Only one storage container is permitted per lot at a time.
3.
Unless being used in conjunction with a valid building permit, the container may be located on a lot for no more than 7 consecutive days, no more than twice in a calendar year.
4.
Any container must be stored in a side or rear yard.
6-4.4.
Temporary Sales Office. Temporary real estate sales office and/or model residential structure in association with a new housing development.
a.
The office shall be located on a lot within the new development.
b.
Parking shall be provided in conformance with Chapter 10.
c.
The scale of the temporary building shall be smaller than any home within the development.
(Ord. No. 2018-6, § 2, 2-21-18)
USE REGULATIONS1
Editor's note— Secs. 1 and 2 of Ord. No. 2018-6, adopted February 21, 2018, deleted and replaced Ch. 6 in its entirety to read as herein set out. Former Ch. 6 pertained to Residence Districts, consisted of §§ 6-1—6-5, and derived from Ord. No. 05-26, adopted August 1, 2005; and Ord. No. 2018-7, adopted March 21, 2018.
6-1.1.
General Provisions. The following general provisions apply to the uses outlined in this section.
a.
A lot may contain more than one principal use, unless otherwise specified.
b.
Each of the principal uses may function as either a principal use or accessory use on a lot, unless otherwise specified.
c.
Uses are either permitted by right in a district, permitted by right with conditions, or require a Special use permit (refer to Sec. 13-6) in order to be developed.
d.
In the MX districts, each use shall be located within a permitted building type (refer to Sec. 8-4), unless otherwise specified.
e.
Each use shall be located indoors (within a building), unless otherwise expressly stated.
6-1.2.
Table of Principal Uses. Table 6.1 identifies the principal uses allowed in each zoning district. Principal uses are defined in 6-2. Principal Uses, and each defined use is given one of the following designations.
a.
Use Definitions. Uses and use categories listed in Table 6.1 are defined in this chapter for each category.
b.
Permitted Use ("●"). Uses designated with "●" are permitted by-right in the districts in which they are listed, in all locations within the building, unless otherwise noted.
c.
Permitted in Limited Building Locations ("◓"). Uses designated with "◓" are permitted by-right in the districts in which they are listed, provided that the uses are located in the upper stories of the structure, in the ground story beyond a depth of at least 20 feet from the front facade, or within any basement.
d.
Requires Special Use Permit ("○"). Uses designated with "○" require a special use permit approved by the city council (refer to 13-6) in order to occur in the districts in which they are listed. The use must meet any development standards defined for the use in this section as well as meet any requirements of the special use approval. The use may occur anywhere in the building, unless otherwise specified.
e.
Permitted with Development Standards ("◐"). Uses designated with "◐ are permitted in the districts in which they are listed, provided that they are developed per the conditions and standards established by this chapter. These conditions, combined with the building type requirements, are intended to help alleviate any negative impacts associated with the use, making it appropriate in a district where it otherwise might not have been appropriate. The use may occur anywhere in the building, unless otherwise specified.
f.
Prohibited Use. A blank cell in the use table indicates that the use is prohibited in that district.
6-1.3.
Use Categories. Uses are grouped by category, which are further broken into subcategories and specific use types. For example, the Retail Uses include a subcategory of uses for Neighborhood Retail and specific uses such as Beer/Wine/Liquor Sales.
6-1.4.
Unlisted Uses. The following applies to uses or use categories that are not specifically listed in Table 6.1.
a.
Unlisted Similar Uses.
1.
If a use is not listed but is substantially similar in nature and impact to a use permitted within a zoning district, the zoning officer is authorized to interpret the use as permitted. Such unlisted use is subject to any use-specific conditions applicable to the similar permitted use.
2.
If the unlisted use is substantially similar in nature and impact to a use requiring a Special use permit, the zoning officer is authorized to interpret the use as also requiring a Special use permit.
3.
If the unlisted use is substantially similar in nature and impact to a use that is prohibited, the zoning officer is authorized to interpret the use as prohibited.
b.
Unlisted Dissimilar Use. If a use is not listed and cannot be interpreted as similar in nature and impact to a use within a zoning district that is either permitted or requires a Special use permit, the use is prohibited.
6-1.5.
Building Types in the MX Districts. In the MX districts, the uses permitted within the district may be further limited within the building types permitted in the district. Refer to Sec. 8-4 Building Types.
TABLE 6.1. PERMITTED USES BY DISTRICT
(Ord. No. 2018-6, § 2, 2-21-18; Ord. No. 2024-16, § 1, 9-18-24)
6-2.1.
Residential and Lodging Uses. Residential and Lodging Uses are uses that include several residence types.
a.
Household Living. Household living is a category including the use of one or more dwelling units located within the principal structure of a lot by a household. A dwelling unit is a set of rooms, including a kitchen and at least one full bathroom, designed for cooking, living, and sleeping.
1.
One-Unit Dwelling. One principal dwelling unit located on a lot that does not contain any other principal dwelling units and does not share walls with another unit.
2.
2-Unit Dwelling. Two principal dwelling units, both of which are located on the same lot, with no other principal dwelling units located on the same lot.
3.
3-Unit Dwelling. Three principal dwelling units, all 3 of which are located on the same lot, with no other principal dwelling units located on the same lot.
4.
Converted House. A principal structure originally designed for one-unit dwelling use, converted to accommodate up to 4 units with the following development standards:
(a)
Size. Each unit shall at least 500 square feet of usable floor area.
(b)
Stairs. Exterior stairs to the upper floors are not permitted on any street facade.
5.
Row Dwellings (maximum 4 units). Vertically oriented dwellings with shared walls. A maximum of 4 units sharing walls within one building is allowed on one lot. Each unit may be located on its own lot or all units may be on one lot with common exterior space.
6.
Row Dwellings (maximum 8 units). Vertically oriented dwellings with shared walls. A maximum of 8 units sharing walls within one building is allowed on one lot. Each unit may be located on its own lot or all units may be on one lot with common exterior space.
7.
Multiple-Unit Dwelling. Four or more principal dwelling units, all of which are located on the same lot.
b.
Bed and Breakfast. A facility providing temporary lodging to the general public consisting of no more than 6 sleeping rooms with daily room cleaning services, without in-room kitchen facilities, in either an owner-occupied principal structure or in a principal structure on the same lot of an owner-occupied accessory structure.
c.
Community Residence. A facility where a group of persons other than a household resides together with a common purpose or goal, with no medical or social care in house. The permanent lodging includes separate sleeping facilities and communal kitchen and living rooms. Examples include convents, seminaries, monasteries, dormitories, fraternity and sorority houses, children's homes, and rooming houses.
d.
Group Home for 8 or Fewer Persons. A state-licensed facility offering temporary, transitional lodging to the general public consisting of sleeping rooms with or without in-room kitchen facilities and for the purposes of rehabilitation. Includes such uses as transitional housing, halfway houses, addiction rehabilitation, physical rehabilitation facility. When noted as subject to development standards or requires a special use permit in Table 6.1, the following applies:
1.
The facility shall have no more than 8 residents at any given time plus necessary staff persons.
2.
The facility shall include in-house-provided medical, psychological, and/or social care.
e.
Hotel/Inn. A facility offering short-term, temporary lodging to the general public with daily room cleaning services, and consisting of an unlimited number of sleeping rooms with or without in-room kitchen facilities. Secondary service uses may also be provided, such as restaurants and meeting rooms. When noted as subject to development standards or requires a special use permit in Table 6.1, the following applies:
1.
Temporary lodging is permitted for up to 30 days within a 6-month period.
2.
Rooms shall be accessed from the interior of the building.
3.
Exterior stairs to upper stories are not permitted on any street facade.
f.
Residential Care. A facility offering temporary or permanent lodging to the aged or physically-limited population consisting of sleeping rooms with or without in-room kitchen facilities. The facility must include some level of assistance with daily activities and in-house-provided medical and/or social care. Includes such uses as assisted living facilities, rest homes, nursing homes, and hospice care.
6-2.2.
Civic and Institutional Uses. Civic and Institutional Uses are uses related to fulfilling the needs of community life, cultural support, congregation, and social interaction.
a.
Assembly. A facility that has organized services, meetings, or programs to benefit, educate, entertain, or promote discourse amongst the residents of the community in a public or private setting, generally with little or no relationship to commerce. Includes places of worship, community centers, convention centers, performing arts venues. When noted as subject to development standards or requires a special use permit in Table 6.1, the following applies:
1.
Facilities over 5,000 gross square feet require a special use permit.
2.
In the MX districts, assembly uses are not permitted on the ground story of a Storefront building.
3.
Traffic and parking impacts shall be addressed.
4.
Parking facilities shall be shared with a neighboring use through a shared-use agreement (see 8-17-2).
b.
Government/Higher Education/Hospital Facilities. Large-scale, multiple building, community-serving facilities associated with healthcare, universities, colleges, or government functions. Includes such uses as universities, theological schools, city hall, government offices, and hospitals. Does not include vocational or trade schools. When noted as subject to development standards or requires a special use permit in Table 6.1, the following applies:
1.
The facility is required to maintain a campus master plan that includes, but is not limited to, the location of buildings, uses, parking, vehicular traffic, pedestrian facilities and amenities, and connectivity to surrounding parcels and uses.
c.
Fire/Police Station. A facility providing public safety and emergency services; training facilities, and locker rooms. Limited overnight accommodations may also be included. Fire/Police Stations are permitted in applicable districts with the following development standards:
1.
Garage doors are permitted on the front facade.
2.
Exempt from maximum driveway widths.
d.
Libraries, Museums. A facility open to the general public housing educational, cultural, artistic, or historic information, resources, and exhibits. May also include accessory food service and a gift shop.
e.
Schools: Elementary, Secondary. An education facility for pre-kindergarten through 8th grade with classrooms and offices, that may also include associated indoor facilities such as ball courts, gymnasium, theater, and food service. Parking facilities may be provided for faculty, administration, staff, and visitors, but not students.
f.
Schools: High School & Higher Education. An education facility with classrooms and offices for grades 9 through 12, and for non-profit institutions (colleges and universities) offering post-secondary education (public or private) and granting associate or bachelor degrees. Does not include trade or vocational schools. The use may also include associated indoor facilities such as ball courts, gymnasium, theater, and food service. Parking facilities may be provided for faculty, administration, staff, visitors, and students.
g.
Transit Station. A building or platform primarily used as part of a transit system (rail, water, and/or bus) for the purpose of boarding and alighting passengers from one mode to another. May include a station building, platforms, park and ride lots, bus stops, waiting facility, ticket office, restrooms, concessions, and other similar facilities.
h.
Park/Recreational Area. A use of land for active or passive, outdoor space available to the general public. Includes such uses as parks, plazas, greens, parklets, playfields, playgrounds, and tot lots for general recreation, athletics, and leisure. This use generally has little or no relationship to commerce. May include historic structures/monuments, ornamental gardens, or arboretums. May be associated with an assembly or school use. Park uses may also be utilized to host temporary private or community events, such as a farmer's market or art fair. See also Intensive Park.
When noted as subject to development standards or requires a special use permit in Table 6.1, the following apply:
1.
Parking. Parking lots are not permitted in parks in any district except by special use approval.
2.
Stormwater Accommodations. Parks that incorporate stormwater management on a site or district scale are encouraged.
(a)
Stormwater facilities shall be designed to accommodate additional uses, such as an amphitheater or a sports field.
(b)
Stormwater facilities shall be designed not to be fenced and shall not impede public use of the land they occupy.
i.
Intensive Park Uses. A category of more intensive, generally outdoor park uses that are more impactful to the land and surrounding area, and that may charge fees for use or limit the users. Includes such uses as golf courses, riding stables, zoos, campsites, group camps, botanical gardens. Does not include outdoor entertainment uses per 6-2.4.e.
6-2.3.
Retail Uses. A category of uses involving the sale of goods or merchandise to the general public for personal or household consumption.
a.
Neighborhood Retail. A retail use that typically provides goods for neighborhood residents and that is small in scale, with limited parking and traffic impacts. Neighborhood retail uses occupy a gross space of less than 5,000 square feet and includes uses that are not otherwise listed separately in Table 6.1 or in the General
Retail category in Table 6.1. Neighborhood retail includes such uses as those listed in Figure 6-1. List of Typical Uses in Retail Category.
b.
General Retail. A retail use that includes all neighborhood retail uses without limitation to size and larger and/ or more impactful retail uses, typically serving the larger community or region. Includes such uses as those listed in Figure 6-1. List of Typical Uses in Retail Category.
c.
Artisan Studio/Retail. A use involving the creation of art works, custom goods, or small-scale production, assembly, and/or repair through the use of hand tools and small-scale equipment with little to no noxious by-products. Use must include a showroom or small retail outlet selling art and/or goods produced. Includes such uses as those found in Figure 6-3. List of Typical Uses in Artisan Studio/Retail Category. The following conditions apply:
1.
The maximum overall gross floor area is limited to 10,000 square feet, unless otherwise noted.
2.
A showroom, taproom, tasting room, or retail outlet shall be located in the front of the building and shall occupy a minimum of 25% of the gross floor area. The space shall be generally opened to the public during regular shopping hours and shall sell the products produced on-site.
3.
This use may also include associated facilities such as offices and small-scale warehousing, but distribution is limited to no more than 2 vans and small trucks. Distribution access shall be from the rear.
d.
Beer/Wine/Liquor Sales. A use involving the sale of alcoholic beer, wine, and/or liquor not to be consumed on the premises, with such sales to be made only in sealed bottles or other containers. Sale of beer, wine, and liquor requires additional permitting from the city and state.
When noted as subject to development standards or requires a special use permit in Table 6.1, the following apply:
1.
Proximity to Other Beer/Wine/Liquor Sales. No beer/wine/liquor sales use shall be located within a 1,500-foot radius in any direction of any lot where beer/wine/liquor sales are located.
2.
Proximity to Certain Uses. No beer/wine/liquor sales use shall be located within a 500-foot radius of any part of a lot used or reserved to be used for the purposes of a school, library, park, hospital, or assembly.
3.
Food Store/Convenience Store. A food store, grocery store or convenience store shall have no more than 5 percent of its net floor area dedicated to the sale of beer/wine/liquor.
e.
Commercial Equipment & Supply. A use involving the large-scale sale of goods to residents or businesses within the region. This use may include bulk sales and typically involves frequent commercial vehicle and consumer traffic. This use is primarily located indoors, but may also include accessory outdoor storage of goods. This includes such uses as those listed in Figure 6-2. List of Typical Uses in Commercial Equipment and Supply Category.
f.
Discount Variety Store. A use involving the sale of a wide variety of daily consumer retail goods at a discount price, especially multiple items for one dollar, and commonly known as dollar stores or five and dime stores.
When noted as subject to development standards or requires a special use permit in Table 6.1, discount variety stores shall not be located less than 3,000 feet from another discount variety store.
g.
Outdoor Sales Lot. A use involving the sale of goods or merchandise to businesses and/or the general public, where the majority of the goods are stored or displayed outdoors. Outdoor sales lots include such uses as: the sale and rental of automobiles, trucks, trailers, boats, and recreational vehicles and equipment (trampolines); and the outdoor sale of building materials, landscape materials, and garden supplies. When noted as subject to development standards or requires a special use permit in Table 6.1, the following applies:
1.
Outdoor sales lots are not permitted on corner parcels.
2.
Outdoor sales lots must include permanent construction of a building.
Figure 6-1. List of Typical Uses in Retail Category
Figure 6-2. List of Typical Uses in Commercial Equipment and Supply Category
Figure 6-3. List of Typical Uses in Artisan Studio/Retail Category
6-2.4.
Service Uses. A category of uses that provide patrons services and limited retail products related to those services. Visibility and accessibility are important to these uses; walk-in customers and by-appointment clients are typically both accommodated.
a.
Neighborhood Service. A service use that typically provides services to neighborhood residents and that is small in scale, with limited parking and traffic impaces. Neighborhood service uses are limited to a space of less than 5,000 square feet and includes uses that are not otherwise listed separately in Table 6.1 or in the General Service category in Figure 6-4. Typical neighborhood service includes such uses as those listed in Figure 6-4. List of Typical Uses in Service Category.
b.
General Service. A service use that includes all neighborhood service uses without limitation to size and larger and/or more impactful retail uses, typically serving the larger community or region. Includes such uses as those listed in Figure 6-4. List of Typical Uses in Service Category.
c.
Automobile Fueling Station & Minor Repair. An establishment for the sale and dispensing of fuel, oil changes, battery, tire, muffler, glass replacement, and other minor repairs for vehicles. This use requires a special use approval ("○") and the following applies:
1.
Fueling Locations. Up to 6 fueling locations are permitted in the rear or interior side yard.
2.
Limited Service. A maximum of 2 bays for vehicle servicing is permitted, located on the interior side or rear of the building.
3.
Proximity Restriction. No automobile fueling & minor repair use shall be located within a 1,200-foot radius of another automobile fueling & minor repair use.
4.
Permitted Types of Repair Service. Repairs include minor engine repairs; and repairs and replacement of cooling, electrical, fuel and exhaust systems; brake adjustments, relining and repairs; wheel alignment and balancing; and repair and replacement of shock absorbers. Engine rebuilding, bodywork, and painting are not permitted.
5.
Vehicle Outdoor Storage. Disabled or inoperable vehicles and those awaiting pick-up may be stored outdoors if all of the following occur:
(a)
No more than 4 vehicles are stored for no more than 2 days each.
(b)
The storage area is located in the rear yard screened from view of the front lot line.
6.
Outdoor Activities. All repairs or washing activities must occur inside a structure.
7.
Car Wash Facility. One single bay, car wash bay facility associated with the fueling station is permitted, located in the rear of the lot. A vacuuming station is permitted on the exterior.
8.
Convenience Store/Building. A building, such as those typically associated with a fueling station, shall occupy any corner of the lot at the intersection of two streets. The building must have an entrance directly off the public sidewalk. Refer to Figure 6-5. Example of a Fueling Station for one illustration of a compliant fueling station.
9.
Drive Entrance. Up to 2 driveway access points are permitted on the lot, maximum width 22 feet.
d.
Automobile Major Service/Car Wash. An establishment for major and minor repairs and cleaning of motor vehicles. Includes such uses as, and major service and repair. Where this use requires a special use approval ("○"), the following applies:
1.
Service. A maximum of 6 bays for vehicle servicing is permitted.
2.
Proximity Restriction. No automobile fueling, major or minor repair use shall be located within a 1,200-foot radius of another automobile fueling & minor repair use.
3.
Permitted Types of Service and Repairs. Repairs include all service and repairs except painting.
4.
Vehicle Outdoor Storage. Disabled or inoperable vehicles and those awaiting pick-up may be stored outdoors if all of the following occur:
(a)
No more than 8 vehicles are stored for no more than 2 days each outside enclosed storage.
(b)
More than 8 vehicles may be stored within an enclosed storage area, screened from view of the front lot line by an opaque fence.
5.
Outdoor Activities. All repairs or washing activities must occur inside either a structure or an outdoor area fully enclosed by an opaque fence in the rear of the lot.
6.
Car Wash Facility. A multiple bay car wash facility is permitted. A vacuuming station is permitted on the exterior.
e.
Convenient Cash Business. An establishment primarily engaged in the business of lending money on the security of pledged goods left in pawn; purchasing tangible personal property to be left in pawn on the condition that it may be redeemed or repurchased by the seller; exchanging currency; and/or providing cash to patrons for payroll, personal, and bank checks.
When noted as subject to development standards or requires a special use permit in Table 6.1, the following apply:
1.
Convenient cash businesses may not be located within 2,500 feet of any other convenient cash business.
2.
Convenient cash businesses may not be located within 250 feet of a residential district, as measured by the shortest line between the parcel to be occupied by the proposed convenient cash facility and the property line of the nearest R-zoned property.
3.
Convenient cash businesses may not operate between the hours of 9:00 p.m. and 9:00 a.m.
4.
Businesses must keep a glass entrance and exit doors with all windows clear of any signs or advertisements.
f.
Outdoor Entertainment. A facility that offers commercial, primarily outdoor entertainment and recreation opportunities, including such uses as batting cages, go-cart tracks, "par 3" golf courses, driving ranges, miniature golf, outdoor skating rinks, drive-in theater.
Figure 6-4. List of Typical Uses in Service Category
Figure 6-5. Example of a Fueling Station
Figure 6-6. List of Typical Uses in Office Category
6-2.5.
Employment Uses. A category of uses that provides spaces for a variety of employment uses, such as office spaces, training facilities, and studio space for crafting.
a.
Office. A category of uses for professional, governmental, executive, management or administrative offices of private organizations or government agencies. Patrons of these businesses usually have set appointments or meeting times; the businesses do not typically rely on walk-in customers. May include classrooms, conference rooms associated with the use. Typical office uses include those listed in Figure 6-5. List of Typical Uses in Office Category.
b.
Research Laboratories. An establishment that conducts educational, scientific, high technology, or medical research not involving the mass production, distribution, or sale of products. Research laboratories do not produce odors, dust, noise, vibration or other external impacts that are detectable beyond the property lines of the subject property. Research-related establishments that do produce such external impacts are classified as industrial services.
6-2.6.
Infrastructure Uses. A category of uses for the provision of public and private infrastructure to support other uses. Infrastructure uses typically do not include a principal building meeting the building type requirements. Accessory structures may be included.
a.
Parking Lot (Surface). A lot that does not contain a permitted building and is solely used for the parking of vehicles. When noted as subject to development standards or requires a special use permit in Table 6.1, the following apply:
1.
Corner Lots. A corner lot shall not be used as a parking lot.
2.
Abutting Parking Lots. Two parking lots shall not be located directly abutting to one another.
3.
Residential. A surface parking lot as a principal use on its own lot may not be associated with residential and lodging use.
4.
Distance. Parking lot shall be within a quarter mile (or 1,320 feet) of the principal entrance to the associated use unless:
(a)
At least 75% of the spaces are dedicated for public use.
(b)
An approved joint parking agreement is in place.
5.
Pedestrian Access. Lot shall be connected to associated use by a dedicated, public sidewalk.
6.
Commercial Vehicles. Parking lots for commercial vehicles are permitted only in M districts.
b.
Parking Structure. A parking structure on a lot that does not contain a permitted building type and is solely used for the parking of vehicles. When noted as subject to development standards or requires a special use permit in Table 6.1, the following apply:
1.
Corner Lots. A corner lot shall not be used for a parking structure.
2.
Abutting Parking Lots. Two principal use parking facilities (lots or structures) shall not be located directly abutting to one another.
3.
Primary Streets. No facade of the parking structure shall be located on a primary street. For parking structures located on a primary street, a permitted building type shall be utilized, requiring occupied space per the building type requirements.
4.
Distance. Parking structure shall be within 1,320 feet or a quarter mile walking distance of the principal entrance to the associated use unless one of the following applies:
(a)
At least 75% of the spaces are dedicated for public use.
(b)
An approved parking agreement is in place.
5.
Pedestrian Access. Structure shall be connected to any associated use by a dedicated, public sidewalk.
6.
Commercial Vehicles. Parking structures for commercial vehicles are permitted only in M districts.
7.
General Design Requirements. Compliance with building type regulations is not required; however, special design requirements defined by the City Council shall be met.
c.
Transportation and Utilities Uses. A lot that is primarily utilized for the City's infrastructure needs. Transportation and utilities includes such uses as street rights-of-way, rail rights-of-way, electric or gas services, sewage treatment, water treatment and storage, pumping stations, transmission and receiving stations, and energy conversion systems. Does not include heavy transportation uses per 6-2.7.e.
When noted as subject to development standards or requires a special use permit in Table 6.1, the following apply:
1.
The total lot coverage of all buildings and structures shall be not more than 30 percent of the area of the lot.
2.
All buildings and structures shall be set back from every adjacent property a minimum distance of 25 feet and, in addition, not closer than 50 feet from any adjacent residential property, except that any tower shall be set back a minimum distance of that equal to the height of the tower from any adjacent residential property.
3.
Transformers shall be located within buildings.
4.
Any electric or other utility lines between the infrastructure and the street shall be underground.
5.
The infrastructure shall be screened from any adjacent residential property by a solid fence or planting screen which shall provide year-round screening.
6.
In the MX districts, transportation and utilities are not required to satisfy a building type.
6-2.7.
Industrial Uses.
a.
Dispatch/Warehousing/Distribution. A category of uses involving the storage of goods, distribution of goods, and the dispatching of services with limited negative external effects except substantial commercial vehicle access, loading, and parking, and large-scale indoor or outdoor storage of goods. Does not include motor freight terminals (see d. below). Typical uses include those listed in Figure 6-7. List of Typical Uses in the Industrial Category.
b.
Limited Industry. A category of uses involving the manufacturing of finished parts or products, primarily from previously prepared materials that typically have very few, if any, negative external impacts on surrounding properties. Also includes any Artisan Studio uses that do not comply with the conditions associated with that use category. [2] Typical uses include those listed in Figure 6-7. List of Typical Uses in the Industrial Category.
When noted as subject to development standards or requires a special use permit in Table 6.1, the conditions of use for each manufacturing district and the general performance standards, noise, vibration, smoke and particulate matter, odor, toxic matter, fire and explosive hazards, and glare requirements defined in Chapter 8 (sections 8-4 through 8-12) shall apply.
c.
General Industry. [3] A category of uses involving the manufacturing of finished or unfinished products, primarily from extracted or raw materials, or recycled or secondary materials. Also includes the repair or servicing of industrial or commercial machinery, equipment, products, or by-products. Also includes any establishment, other than natural resource extraction, that produces odors, dust, noise, vibration, or other external impacts that are detectable beyond the property lines of the subject property. Typical uses include those listed in Figure 6-7. List of Typical Uses in the Industrial Category.
When noted as subject to development standards or requires a special use permit in Table 6.1, the conditions of use for each manufacturing district and the general performance standards, noise, vibration, smoke and particulate matter, odor, toxic matter, fire and explosive hazards, and glare requirements defined in Chapter 8 (sections 8-4 through 8-12) shall apply.
d.
Intensive Industry. A category of uses that involves natural resource extraction, rock crushing, and waste-related uses. Typical uses include sanitary landfills; garbage, refuse, and trash dumping and/or disposal; stone and gravel quarries and crushing, grading, washing and loading equipment and structures.
When noted as subject to development standards or requires a special use permit in Table 6.1, the conditions of use for each manufacturing district and the general performance standards, noise, vibration, smoke and particulate matter, odor, toxic matter, fire and explosive hazards, and glare requirements defined in Chapter 8 (sections 8-4 through 8-12) shall apply.
e.
Intensive Transportation Uses. A category of uses involving heavy transportation terminals, parking, freight, and operations. Typical uses include airport, motor freight terminal, railroad freight terminal, railroad roundhouses, maintenance/switching yards.
When noted as subject to development standards or requires a special use permit in Table 6.1, the conditions of use for each manufacturing district and the general performance standards, noise, vibration, smoke and particulate matter, odor, toxic matter, fire and explosive hazards, and glare requirements defined in Chapter 8 (sections 8-4 through 8-12) shall apply.
6-2.8.
Agricultural Uses.
a.
Apiary. The keeping of one or more colonies of the common domestic honey bee, Apis Mellifera. Colonies include a hive and its equipment and appurtenances, including bees, comb, honey, pollen, and brood. When noted as subject to development standards in Table 6.1, the following apply:
1.
Maximum Number of Colonies. Any lot where permitted shall be limited to 10 colonies per lot.
2.
Colony Size. No colony shall exceed 20 cubic feet in volume.
3.
Location. No colony shall be located closer than 10 feet from any property line, or closer than 10 feet from a public sidewalk or 25 feet from a principal building on an abutting lot.
4.
Flyaway Barrier. A flyway barrier of at least 6 feet in height must shield any part of a property line within 25 feet of a colony, unless the base of the colony is located more than 6 feet above the ground.
(a)
A required flyway barrier shall consist of a wall, fence, dense vegetation, or a combination thereof.
(b)
The barrier shall be positioned to transect both legs of a triangle extending from an apex at the colony to each end point of the part of the property to be shielded.
b.
Community Garden. The use of land for vegetable, fruit, or flower gardening by individuals or groups who may or may not own or lease the subject land.
c.
Nurseries and Greenhouses. A principal use involving the propagation and growth of plants in containers or in the ground for wholesale sales and distribution.
d.
Farmer's Market. A temporary or permanent outdoor market open to the public, operated by a governmental agency, a nonprofit corporation, or one or more producers where at least 75% of the displayed inventory of products sold consists of farm products or value-added farm products; and at least 75% of the vendors during the market's hours of operation are producers, or family members or employees or agents of producers.
e.
Urban Farm. A ground or roof-level, open-air agricultural operation less than 10 acres in size, with vegetables, fruit, or flowers generally grown for commercial sale, whether for profit or non-profit, with a single entity serving as the primary operator.
Figure 6-7. List of Typical Uses in the Industrial Category
6-2.9.
Other Category.
a.
Sexually Oriented Business. Refer to Chapter 26½ of the City's Code of Ordinances for definition and requirements of any sexually oriented business.
b.
Medical Cannabis Dispensing Center. Medical Cannabis Dispensing Center as defined by the State of Illinois Compassionate Use of Medical Cannabis Act.
c.
Medical Cannabis Cultivation Center. Medical Cannabis Cultivation Center as defined by the State of Illinois Compassionate Use of Medical Cannabis Act.
(Ord. No. 2018-6, § 2, 2-21-18)
Existing code; "use involving the production, processing, cleaning, servicing, testing, repair or storage of materials, goods or products which shall not by injurious or offensive to the occupants of adjacent premises by reason of the emission of or creation of noise, vibration, smoke, dust, or other particulate matter, toxic or noxious materials, odors, fire or explosive hazards, or glare or heat."
Existing code: "production, processing, cleaning, servicing, testing, repair or storage of materials, goods or products."
Accessory uses are not permitted to serve as the principal use on a zoning lot. These uses are incidental to and customary in connection with the principal building or use and located on the same lot with such principal building or use.
6-3.1.
Table of Accessory Uses. Table 6.2 Table of Accessory Uses presents a listing of expressly allowed accessory uses. Each of the listed accessory uses is given one of the following designations.
a.
Permitted ("●"). These accessory uses are permitted by right in the districts in which they are listed.
b.
Permitted Subject to Development Standards ("◐"). Accessory uses are permitted by right in the districts in which they are listed, provided that they comply with the use-specific conditions of this section 6-3.
c.
Requires a Special Use Permit ("○"). Accessory uses designated with "0" require a special use permit approved by the city council (refer to 13-6) in order to occur in the districts in which they are listed. The use must meet any development standards defined for the use in this section as well as meet any requirements of the special use approval.
TABLE 6.2. PERMITTED ACCESSORY USES BY DISTRICT
6-3.2.
Accessory Residential Uses.
a.
Accessory Dwelling Unit. A dwelling unit that is associated with and is incidental to another dwelling unit which serves as the lot's principal use. All units must be located on the same lot. A dwelling unit is a set of rooms, including a kitchen and at least one full bathroom, designed for cooking, living, and sleeping.
When noted as subject to development standards or requires a special use permit in Table 6.2, the following regulations apply:
1.
No more than one accessory dwelling unit is permitted on a single lot.
2.
The unit may be located within the principal dwelling unit (internal) or in a detached accessory outbuilding, where permitted and in the rear yard only.
3.
The floor area of the unit may not exceed 50% of the floor area within the principal dwelling unit.
4.
The private property owner shall reside within the, principal dwelling unit on-site.
b.
Home Child Care. Supplementary, temporary care of children, unrelated to the caregiver, on a regularly recurring basis for a portion of one or more days in the week, and provided in the home of the caregiver.
When noted as subject to development standards or requires a special use permit in Table 6.2, the following apply:
1.
Limited Attendees. More than 6 and fewer than 12 children may be cared for at a time. Fewer than 6 children is considered a Home Occupation (refer to 6-3.2.c). Twelve or more children is considered principal service use (refer to 6-2.4.).
2.
Outdoor Play Area. Home Child Care shall include a fenced outdoor play area.
3.
Accessory Use. Home Child Care may only be an accessory use to the principal use of Household Living.
4.
State Licensing Requirements. All applicable state licensing requirements shall be met.
5.
Revocation. The code enforcement director shall have discretion to revoke any permit for home child care if such use is a nuisance to neighboring properties.
c.
Home Occupation. A use that is clearly subordinate to the principal use as a residence, is customarily conducted within the dwelling unit by one or more members of the occupying household, and does not alter the exterior of the building or its appearance.
Included Uses. Home Occupation includes the following and other uses deemed similar by the zoning officer: accountant, artist, attorney, author, computer operator or programmer, childcare of 6 or fewer children, designer (computer, graphic, architect, interior, etc.), home crafts, seamstress or tailor, sales person or representative (no on-site retail or wholesale transactions), tutoring, and instruction of craft and fine art.
When noted as subject to development standards or requires a special use permit in Table 6.2, the following apply:
1.
Advertisement. Offering, displaying or advertising any commodity or service for sale on the premises is prohibited, except that an identification sign is permitted in accordance with the regulations of 11-2.2.l Signs for Home Occupations.
2.
Outside Storage. No materials or products shall be stored outside of a building.
3.
Area. The customary home occupation shall not occupy more than 25 percent of the usable floor area of a dwelling unit in which the home occupation is operated.
4.
Employees. Employment is limited to any member of the immediate household residing in the dwelling unit plus one person not residing in the dwelling unit.
5.
Hours of Operation. Permitted hours of operation are 7 AM to 8 PM.
d.
Sleeping Quarters for a Caretaker. Sleeping quarters for one caretaker of an industrial facility, which may include a full kitchen or constitute a dwelling unit.
6-3.3.
Accessory Commercial Uses.
a.
Drive-Through Facility. A structure or facility where a driveway to a window or a set of parking spaces is defined with the intent to serve patrons while they remain in their vehicle, or to allow consumption of food or beverage obtained from the establishment within the patron's vehicle.
Refer to Figure 6-8 for one illustration of these requirements. When noted as subject to development standards or requires a special use permit in Table 6.2, the following apply:
1.
Associated Uses. The drive-through facility must be related to an eating place, financial depository institution/bank, laundromat & dry cleaner, or drug store.
2.
Structure/Canopy. Drive-through structures or canopies shall be located on the rear or interior side facade of the building or in the rear of the lot behind the building.
3.
Stacking Lanes. Stacking lanes shall be located perpendicular to the front lot line or behind the building.
4.
Materials. The canopy and structure shall be constructed of the same materials utilized on the building.
5.
Drive Locations. There shall be a minimum distance of 40 feet between any 2 curb cuts and a minimum distance of 25 feet between any curb cut and the corner of any corner lot which is at the intersection of 2 streets.
6.
Lot Requirements. There shall be a minimum lot area of 15,000 square feet and a minimum lot width of 120 feet;
7.
Proximity to Residential. The drive-through facility shall not be located directly abutting any lot in a residential district or any lot containing a dwelling.
Figure 6-8. Recommended Drive-Through
Facility Layout
b.
Outdoor Dining. Outdoor dining areas are permitted as accessory uses on any lot, provided a clear sidewalk area of at least 6 ft. is maintained.
c.
Outdoor Storage. Permanent outdoor storage of goods not typically housed or sold indoors, such as large-scale materials and building and landscape supplies. When noted as subject to development standards or requires a special use permit in Table 6.2, the following apply:
1.
Outdoor storage areas shall be located in the rear or side yard of the lot.
2.
Loose materials shall not be stacked higher than 6 feet.
3.
Loose materials shall at a minimum be stored in a 3-sided shelter and shall be covered.
4.
Materials shall be set back a minimum of 5 feet from any lot line.
5.
All outdoor storage areas shall be screened from view of adjacent parcels and street rights-of-way using fencing, walls, and landscaping.
d.
Parking Lot (Surface), Accessory. An uncovered paved surface used solely for the parking of vehicles, intended for use by the occupants in an adjacent building on the lot. In the MX districts, parking lot locations are regulated by building type regulations. Refer to Chapter 10 for additional parking requirements.
e.
Parking Structure, Accessory. A structure used solely for the parking of vehicles, intended for use by the occupants in an adjacent building on the lot. In the MX districts, parking structures within the buildings are regulated per building type. When noted as subject to development standards or requires a special use permit in Table 6.2, the following apply:
1.
Location. The parking structure shall be located behind the principal building and shall not be visible from the front lot line.
2.
Materials. Any portion of the parking structure fronting a non-primary street or visible from any street or the river in the MX districts shall meet the materials and color requirements of the building type. In all other districts, the materials shall match with the principal building materials.
3.
Ramps. Drive ramps sloped more than 1:20 shall not be located on a street facade.
4.
Height. The height of the separate structure must be lower than any part of the principal structure by a minimum of 6 feet.
f.
Utility Structures. Utility structures includes all communication, cisterns and rainwater collection, and mechanical equipment. When noted as subject to development standards or requires a special use permit in Table 6.2, the following apply:
1.
The equipment shall be located on a lot with a building and is a secondary use for the site.
2.
Roof-Mounted Location. Roof-mounted equipment shall be located per one of the following:
(a)
Pitched Roof. Locate the equipment on a rear facing surface of the roof, if feasible for communication purposes.
(b)
Flat Roof. Locate the equipment towards the rear portion of the roof, where visibility is limited from the street to the maximum extent possible.
3.
Ground-Mounted Location. Ground-mounted equipment is limited to the rear yard. Equipment may be located in the side yard if the equipment is screened from the street with an opaque wall, of the same or similar material of the street facade of the building.
4.
Height. The height of the equipment is either a maximum of 12 feet or the maximum that is not visible from any street sidewalk, whichever is greater.
6-3.4.
Alternative Energy Generation. Alternative energy generation includes structures for solar, wind, and geothermal.
a.
Roof- or Building-Mounted Solar Panels. Roof- or building-mounted solar panels are permitted with the following requirements:
1.
Panels mounted at the same angle of the roof or flush on the building facade are permitted on any roof or building face.
2.
Panels projecting off the roof or building at a different angle are limited to the rear and side facing roofs, unless solar access is limited in these locations.
3.
Panels shall not extend more than 10 feet above the surface of the roof to which they are attached. On pitched roofs, panels shall not extend more than 3 feet.
4.
Ground-Mounted Solar Panels. A solar energy system with a supporting framework that is placed on, or anchored in, the ground and that is independent of any building. Ground-mounted solar panels are permitted with the following requirements:
5.
Output. The system shall produce less than one megawatt of electricity.
6.
Size. A system in any MX, N, or NX district shall not exceed either the area of 50 percent of the principal building footprint or 600 square feet, whichever is greater.
7.
Maximum Height. The system shall be as close to the ground as practicable, and not taller than 20 feet on lots of at least 5 acres in the M districts, 12 feet on lots of at least 5 acres, and 6 feet on all other lots, all measured from the grade at the base of the pole to the highest edge of the system.
8.
Setbacks. All parts of the freestanding system shall be set back a minimum of 5 feet from the interior side and interior rear property lines and shall not be located in a public utility easement.
9.
Materials. Such system shall not include any unfinished lumber.
b.
Wind - Freestanding. Small wind energy systems that stand independent of a building structure.
1.
Output. The system shall produce less than one megawatt of electricity.
2.
Height. The height of any component of a small wind energy system shall not exceed 200 feet, as measured from the ground to highest point of the blade arc.
3.
Permitted Yard Location. Allowed only in the interior side and interior rear yards.
4.
[Front, Exterior Side, and Exterior Rear Yards.] Front, exterior side, and exterior rear yards may be allowed in non-residential districts with a special use permit provided there are no residential districts within 120 feet of any property line of the zoning lot where the turbine will be located.
5.
Setbacks. The base of the system shall be setback 1.1 times the height of the highest edge of the system from all property lines, overhead utility line poles, public sidewalks or trails, and public rights-of-way. Any system or any ancillary equipment shall not be located within any required setbacks of the respective zoning district.
6.
Installation. Small wind energy systems shall be installed only by professional installers certified to install wind turbines, and only pursuant to manufacturer specifications.
7.
Signs. Signage or writing of any kind is not permitted on any portion of any wind turbine, other than required manufacturer plates or safety labeling.
8.
Clearance. Minimum clearance between the lowest tip of the rotor or blade and the ground is 10 feet.
9.
Access. Climbing access (rungs or foot pegs) to the tower shall not start until 12 feet above grade to prevent unauthorized access.
c.
Wind Roof-Mounted. Wind energy systems that are attached to the roof of a building.
1.
Quantity. One turbine is allowed for every 750 square feet of the combined roof area of all structures on a zoning lot. For a pitched roof, each surface of the roof shall be included in the roof area calculation.
2.
Rated Capacity. A maximum rated capacity of 3 kilowatts per turbine is allowed.
3.
Height. The maximum height of 15 feet is measured from the roof surface on which the system is mounted to the highest edge of the system with the exception of any pitches 10:12 or greater.
4.
Above Roof Peak. The system shall not extend more than 5 feet above the highest peak of a pitched roof.
5.
Installation. Roof-mounted wind energy systems shall be installed only by professional installers certified to install wind turbines, and only pursuant to manufacturer specifications.
6-3.5.
Accessory Structures. All accessory structures shall fulfill the following development standards, unless otherwise stated.
a.
General Requirements. The following applies to all accessory structures unless otherwise stated:
1.
Yard. Accessory structures shall be located in the side and rear yards unless located within the open space/park district without a principal building.
2.
Setback. Accessory structures shall comply with the following setbacks:
(a)
Front and Corner Lot Lines. Accessory structures shall not extend closer to the front or corner lot line than the principal structure. In the absence of a principal structure, accessory structures shall be set back a minimum of 15 feet.
(b)
Side and Rear lot Lines. Minimum setback of an accessory structure shall be 5 feet.
3.
Building Coverage. All roofed accessory structures contribute to any maximum building coverage for the site and any maximum impervious coverage for the site.
4.
Height. The maximum height is 15 feet, except where a higher maximum height is otherwise expressly permitted.
5.
Materials. Materials shall match those of the principal structure when the accessory structure is greater than 300 square feet.
b.
Out Building and Garage. A fully enclosed building on a lot that is detached from the principal structure on the same lot. A principal structure is required, unless otherwise stated. Typical Out Buildings include garages, pool houses, workshops, barns, or sheds.
1.
Side and Rear Setback. Minimum side and rear setback shall be 5 feet.
2.
Height. The height may be one story or one story lower than the principal building.
3.
Residential Districts. A maximum of one out building shall be located on an R district lot.
4.
OS Districts. No principal structure is required. Uses may not include retail sales or service.
c.
Accessory Outdoor Structures. Accessory outdoor structures include accessory structures intended to be utilized outside within a yard. Includes such uses as ball courts, gazebos, landscape features, play equipment, swimming pools, decks and patios, dog runs, and flag poles.
1.
Decks and Patios. Decks and patios are permitted in all yards.
2.
Flag Pole. Flag poles are permitted in all yards with the exception of R district lots. Maximum height of a flag pole is 15 feet or the two-thirds the height of the principal structure, whichever is taller, except on lots zoned for civic-institutional uses, the maximum is 60 feet.
3.
Gazebo. A freestanding, roofed structure with open sides.
4.
Yard. Permitted in all yards.
5.
Setback. Must be set back at least 15 feet from front and corner side lot lines.
6.
Landscape Features.
7.
Definitions. This category of residential recreational and aesthetic landscape outdoor structures includes the following:
8.
Play Equipment. Recreational equipment for children, such as a sandbox, slide, climbing apparatus, skate board ramp, or swings.
9.
Ponds. Water gardens or fish ponds; small ponds that consistently contain water during the summer and warmer months; and any pond containing plants and/or aquatic life.
10.
Swimming Pool or Hot Tub. Any basin or other structure containing a minimum of 2 feet of water at any point in time for use by the resident, their family or guests. Temporarily erected plastic, canvas, or rubber pools that do not fulfill the depth requirement do not apply.
(Ord. No. 2018-6, § 2, 2-21-18)
6-4.1.
Temporary Outdoor Event. A temporary event such as a carnival, circus, street celebration, race, bazaar, market or other similar outdoor event.
a.
Refer to Chapter 5 - Amusements of the City's Code of Ordinances.
b.
Such events may be on a street, open space, parking lot, or other public space in which public access is wholly or partially restricted.
c.
The event may include the sale of goods.
d.
This temporary use is not intended to include public speeches, political rallies, political marches, protests, demonstrations or similar events.
6-4.2.
Temporary Construction Buildings. Temporary structures associated with a construction project, including: temporary buildings used to house offices associated with construction and/or sales and marketing for the development; and temporary storage and waste containers.
a.
Construction Structures are permitted in all yards.
b.
Construction Structures are only permitted in conjunction with open building permits and shall be removed when building permits are closed.
c.
Two Construction Structures are permitted per development project with one additional structure per every 2 acres of lot area.
d.
Wheels and chassis on temporary buildings shall be screened from the street by skirting.
6-4.3.
Temporary Storage Container. Temporary and transportable container for personal storage.
1.
The container's size is limited to no greater than 825 cubic feet or covering an area no greater than 180 square feet of area.
2.
Only one storage container is permitted per lot at a time.
3.
Unless being used in conjunction with a valid building permit, the container may be located on a lot for no more than 7 consecutive days, no more than twice in a calendar year.
4.
Any container must be stored in a side or rear yard.
6-4.4.
Temporary Sales Office. Temporary real estate sales office and/or model residential structure in association with a new housing development.
a.
The office shall be located on a lot within the new development.
b.
Parking shall be provided in conformance with Chapter 10.
c.
The scale of the temporary building shall be smaller than any home within the development.
(Ord. No. 2018-6, § 2, 2-21-18)