12 - DOWNTOWN LAWTON OVERLAY DISTRICT
The Downtown Lawton Overlay District establishes development standards for property located in the area described in Section 18-12-1-1202. The overlay district development standards include site and architectural design, building materials, setbacks, parking, landscaping, lighting, and signage.
(Ord. 2006-67, Add, 09/26/2006)
A.
The Downtown Lawton Overlay District shall apply to the following areas:
1.
The area bounded by the north right-of-way line of Ferris Avenue, the north right-of-way line of Gore Boulevard, the west right-of-way line of 4th Street; and the east right-of-way line of Railroad Street; and
2.
The area bounded by the north right-of-way line of Gore Boulevard, the south right-of-way line of SW C Avenue, the west right-of-way line of 7th Street, and the east right-of-way line of Railroad Street.
B.
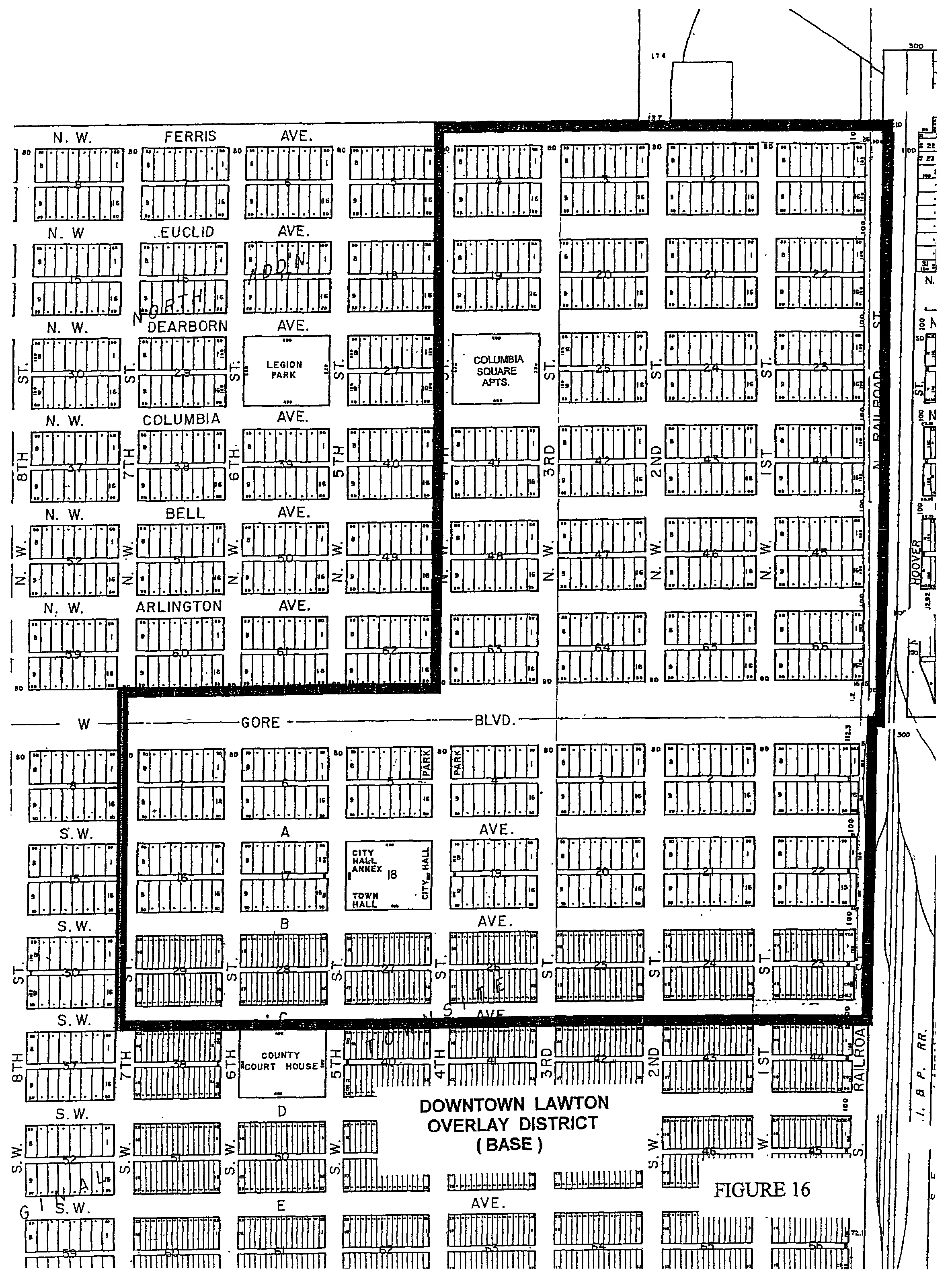
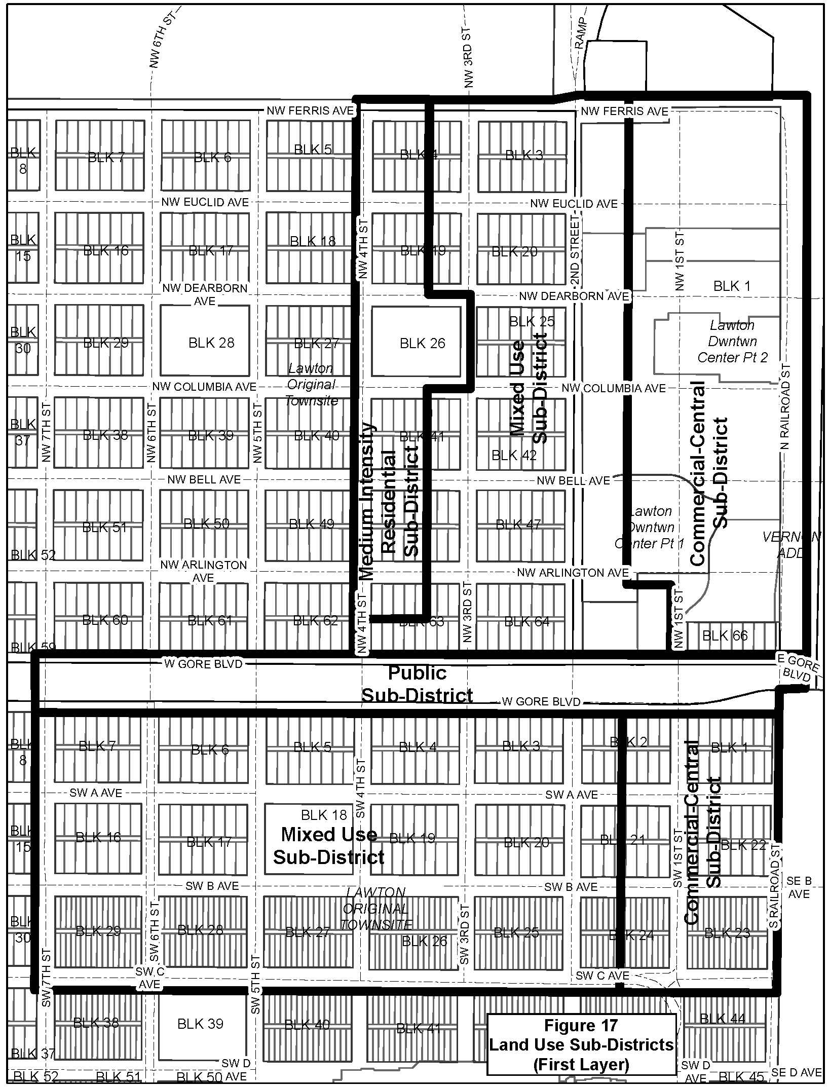
The boundaries of Downtown Lawton Overlay District and the sub-districts are shown on Figures 16, 17, and 18 of this chapter.
(Ord. 2006-67, Added, 09/26/2006)
All submittals and applications for building permits and architectural conformance will be made to the building official in conformance with the regulations of the overlay district and the Downtown Lawton Overlay Design Policy. The building official will be responsible for reviewing and processing the building permit application. The site plan, including the landscaping plan, will be reviewed by the director of planning. The Lawton Urban Renewal Authority shall serve as the Architectural Review Committee (ARC) for issuance of the Certificate of Architectural Conformance for all projects within the Downtown Lawton Overlay District. Submittals for architectural compliance shall include, as a minimum; color drawings of architectural elevations of the front, rear, and sides of the proposed structure, including partial elevations of any adjacent structures within twenty-five feet (25′); samples of all building materials to be used on the exterior treatment of the structure; signs; and a written description of how the new structure blends with both the nearby and extended downtown area. The ARC may retain a consultant at its discretion to aid in review of submitted materials. The fee for said review for architectural compliance is set forth in Appendix A, Schedule of Fees and Charges, of this code.
(2006-67, Added, 09/26/2006)
A.
The Downtown Lawton Overlay District includes the following sub-districts:
1.
Mixed Use Overlay District
a.
2nd Street Corridor Overlay District
b.
C Avenue Corridor Overlay District
2.
Commercial Central Overlay District
3.
Medium Intensity Residential Overlay District
4.
Public Overlay District
Regulations specific to a particular overlay sub-district are set out elsewhere in this article.
(Ord. 2006-67, Added, 09/26/2006)
A.
A minimum of fifty-one percent (51%) of the building material shall be clay fired brick other than in the 2nd Street Corridor Overlay District.
B.
In sub-districts without specific building materials requirements, architectural materials defined in this section may be used on a portion of the structure not to exceed forty-nine percent (49%) subject to review and approval of the ARC. Window and door areas shall be included in the calculation necessary to determine the allowable other material portion of building material requirement.
C.
Architectural materials for buildings regulated by this section of the code shall be selected from the following list:
1.
Terra cotta;
2.
Stucco;
3.
Rock/stone;
4.
Clay-fired masonry units;
5.
Other materials as approved by the ARC.
(Ord. 2006-67, Added, 09/26/2006)
A.
No building shall exceed fifty-four feet (54′) in height except as otherwise provided in the sub-districts.
Multiple Use Parking
B.
Chimneys, elevators, poles, spires, tanks, towers, and other projections not used for human occupancy may extend above the height limit not to exceed twenty-five percent (25%) of the building height.
(Ord. 2006-67, Added, 09/26/2006)
There are no front yards, side yard, or rear yard setbacks except as otherwise provided in the sub-districts.
(Ord. 2006-67, Added, 09/26/2006)
(Ord. 2006-67, Added, 09/26/2006)
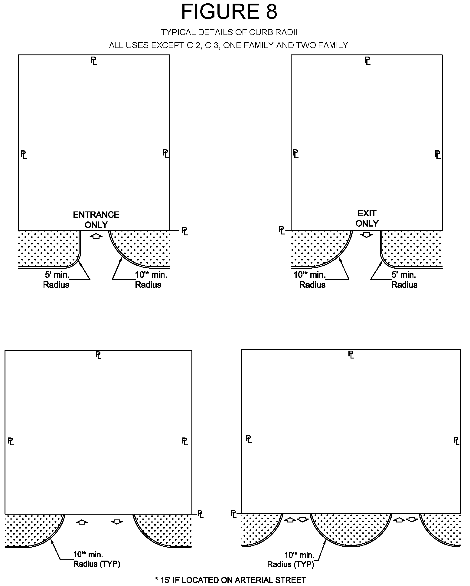
A.
Parking Lots
1.
All surface parking lots shall meet the requirements of Article 8 of this chapter except as provided in Section 18-12-2-1233 of this article. In accordance with Article 8 of this chapter, there is no requirement for off-street parking for property located in the downtown area as defined in Section 18-1-1-106; however, if off-street parking is provided, it shall meet the requirements of Article 8 of this chapter.
2.
Bicycle racks are not required to be included in off-street parking areas; however, for parking lots with a minimum of sixteen (16) spaces, a reduction of one parking space for every two (2) bicycle spaces up to a maximum of three percent (3%) of the total parking requirement will be allowed.
3.
Shared parking is allowable to reduce the total number of parking spaces within the development and to capitalize on off-peak parking synergies (See Multiple Use Parking Table).
a.
The numbers at the intersection of the listed uses indicate the percentage required for the total combined use requirements. (For example, proximity permits combining a residential requirement for fifty (50) spaces with an office-banking requirement for sixty (60) spaces. The combined requirement is for sixty-six (66) spaces, that is sixty percent (60%) of the sum of 50 + 60.)
b.
In cases of multiple use involving more than two facilities, the requirements shall be computed by pairing the facilities involved. Should there be an odd number, that facility shall be computed as one hundred percent (100%) of its respective requirement. Facilities applied to the matrix shall be in close proximity but not separated by natural barriers.
c.
When using the multiple use matrix, the off-street parking spaces must be located in accordance with Section 18-8-1-802 of this code.
(Ord. 2006-67, Added, 09/26/2006)
A.
Landscape Plans. A landscape plan, separate and apart from other required plans, shall be submitted and made a part of the file at the time of submission for a building permit. No landscape plans are required for single-family residential developments. For property located within the Downtown Lawton Overlay District that falls within the downtown area as defined in Section 18-1-106 of this chapter, payment of a fee in lieu of landscaping shall be submitted based on the number of points required by this article if landscaping is not to be installed. The funds will be used by the city to beautify the rights-of-way in the downtown area. The fees are set out in Appendix A, Schedule of Fees and Charges, of this code.
B.
All landscape plans shall include the information set out in Section 4 of the Downtown Lawton Overlay Design Policy.
C.
Definitions. As used in this article, the following terms shall have the meanings given:
1.
Berm means an earthen mound designed to provide visual interest, screen undesirable views and/or decrease noise.
2.
Caliper means the diameter of a tree trunk less than twelve inches (12″) in diameter. For trees less than four inches in diameter, it is measured six inches from the ground. For trees between four inches (4″) and twelve inches (12″) in diameter, it is measured twelve inches (12″) from the ground.
3.
Developed area means the area of a lot that is disturbed for the purpose of developing structures, parking facilities, loading or storage areas, paved access to off-street parking or loading areas or other areas paved with an all-weather material, or landscaped areas.
4.
Evergreen means a plant with foliage that persists and remains green year round.
5.
Groundcover means an evergreen or deciduous planting less than twenty-four inches (24″) in height, excluding turf grass.
6.
Landscape plan means graphic and written criteria, specifications, and detailed plans to arrange and modify the effects of natural and manmade features such as plantings, ground and water forms, circulation, walks, structures, and other features to comply with the provisions of this ordinance.
7.
Landscaped area means any area that contains trees, shrubs, and/or groundcover that have been claimed for point credits.
8.
Significant tree means any existing tree with a caliper of six inches (6″) or greater that is determined to be in good health.
9.
Shrub means a living self-supporting woody deciduous or evergreen species no less than eight inches (8″) in height and no greater than fifteen feet (15′) in height, which will remain full and attractive throughout the year.
10.
Tree means a living self-supporting woody or evergreen plant that normally grows to a minimum height of fifteen feet (15′) and which has one or several self-supporting stems or trunks and numerous branches.
11.
Turf grass means existing or installed grass that has been sodded, seeded, or hydro-mulched. Turf grass eligible for point credits must be located within the property lines of a development. The maximum credit for turf is twenty-five percent (25%) of the total landscape points required for any site. All turf credited for points shall completely cover all exposed areas of soil after one full growing season.
D.
Landscape Point System
1.
Planting Requirements
a.
The developer may use any combination of plantings to obtain the necessary number of points required for the development. Different lots and landscapes will lend themselves to different types of plantings. These regulations attempt to encourage creativity and diversity in landscaping.
b.
Landscaping within any developed area must equal or exceed a minimum number of points in order to obtain approval. Site points are determined by the size of the developed area, and parking lot points are determined by the number of parking spaces. For the purpose of calculating landscape points, the developed area may be submitted in the form of the legal description of the property or a scaled, dimensioned and well-defined area of development that is referenced on the site plan.
c.
Number of Points Required for the Developed Area
d.
When only a portion of a large tract is developed (e.g. one acre of a ten (10) acre tract), only the developed area shall be considered when determining the number of points required.
2.
Point System
Different types of plantings shall be worth different point values as shown in Point Values of Plantings Table.
3.
A minimum of sixty percent (60%) of required points shall be used for landscaping in the front and side yards.
4.
A minimum of twenty-five percent (25%) of required points may be used for evergreen plantings.
5.
A maximum of twenty-five percent (25%) of required points may be used for turf grass.
E.
Landscaping Requirements
1.
Single-family residential is exempt from landscaping requirements. For all other uses, the following requirements must be met:
a.
All required front, side and rear yards shall be landscaped, except walkways, parking, pertinent equipment, drainage utilities, and other accessory structures permitted by this chapter. The landscaping of these yards shall consist of a combination of living vegetation, such as trees, shrubs, grasses or ground cover materials, planted or transplanted and maintained, or preserved as existing natural vegetation areas.
b.
All trees and shrubs shall be planted, maintained, or transplanted in accordance with the recommended guidelines set out in the Downtown Lawton Overlay Design Policy. All newly planted trees and shrubs shall be mulched and maintained to give a clean and weed-free appearance.
F.
Parking Lot Landscape Requirements
1.
All non-covered, street-level parking facilities shall be landscaped in accordance with the following requirements:
a.
In addition to the number of site points required, two (2) additional points shall be added to the site for each required parking space. Any proposed parking space in excess of the number of required spaces shall require one additional point of landscaping. Parking lot landscape requirements shall be located:
1)
Around the perimeter of the lot, and/or
2)
Within parking lot islands, and/or landscaped areas within the developed parking lot.
2.
Exceptions. The requirements of this subsection shall not apply to:
a.
Parking garages or parking decks.
b.
Display areas for new automobiles, trucks, camping trailers, boats and marine sales.
G.
Existing Tree Credits. In order to encourage the preservation of Lawton's older trees, credits toward required points may be given in the event existing trees are preserved. Tree credits shall be approved by the director of planning.
1.
Landscape points shall be applied for each existing significant tree of the following sizes:
2.
Trees for which an owner/developer wishes to receive credit must be in the developed area; however, no more than twenty-five percent (25%) of the total points may be located within the public rights-of-way.
3.
Any significant tree claimed for points that dies during construction, or as a result of construction, shall be replaced with a tree (or trees) to equal or exceed the point of value of the lost tree.
H.
Completion Requirement. A certificate of landscaping compliance, for any use, shall not be issued until the required landscaping has been installed in accordance with the landscape plan or fee in lieu of landscaping has been paid; provided, however, if a structure and all site improvements are complete except for the required landscaping, temporary occupancy may be permitted for a period of six (6) months.
I.
Irrigation. The developer shall be required to install an irrigation system to all required landscape areas to insure that sufficient water is delivered to plant materials.
J.
Maintenance. Maintenance of the installed landscaping shall be the responsibility of the property owner. If landscaping is not properly maintained, the city shall be authorized to abate it as a public nuisance and the owner of the property shall be required to reinstall any removed landscaping consistent with the original landscaping plan.
(Ord. 2006-67, Added, 09/26/2006)
Sidewalks shall be constructed with each new building or the remodeling of existing buildings and shall be in accordance with the City of Lawton's standard details prepared by the City Engineer. However, when connecting to an existing sidewalk, the sidewalk must continue the same width of the existing sidewalk with a minimum width of four feet (4′).
(Ord. 2006-67, Added, 09/26/2006)
If decorative paving is used for crosswalks, it shall conform to the crosswalks installed on 2nd Street as part of the 2nd Street Enhancement Project. (See specifications in the 2nd Street Enhancement Project)
(Ord. 2006-67, Added, 09/26/2006)
A.
A sight-proof fence on the front property line and/or side property line and/or side property line(s) abutting a street may be erected, provided a five (5) foot wide landscape buffer shall be required on the outside of the fence.
B.
Sight-proof screening may be credited with two (2) landscape points per every twenty (20) linear feet if constructed of upgraded building materials, such as masonry (limited to brick, split-face concrete block, stone or cultured stone), decorative pre-cast concrete fence systems, or decorative iron.
(Ord. 2006-67, Added, 09/26/2006)
Fencing shall be permissible as approved by the ARC in conformance with the Downtown Lawton Overlay Design Policy. Security fencing shall not exceed a height of six feet (6′). When located on a property across any street from residential, office, and commercial zoned districts, a five (5) foot wide landscape buffer located on the outside of the fence shall be required.
(Ord. 2006-67, Added, 09/26/2006)
A.
Street Lighting. All proposed light poles, fixtures, and accessories shall be approved by the ARC.
B.
Parking Lot Lighting.
1.
Lighting for parking lots for nonresidential uses shall have a minimum of two foot candles (2 f.c.) and a maximum of five foot candles (5 f.c.).
2.
Lighting for parking lots for multi-family residential uses shall have a minimum of one foot candle (1 f.c.) and a maximum of three foot candles (3 f.c.). Parking lots for multi-family residential with less than six (6) total parking spaces do not require lighting; however, if provided, lighting shall meet these regulations.
C.
Seasonal lighting may be allowed with a special permit approved by the director of planning for a time period not to exceed sixty (60) days.
(Ord. 2006-67, Added, 09/26/2006)
A.
Signs shall meet the regulations of Article 9 of this chapter, any specific requirements listed on this section, and shall be approved by the ARC. See the Downtown Lawton Overlay Design Policy for design requirements for signage.
B.
Permitted Signs
1.
Building mounted signs placed on the front of buildings, parallel to the street.
2.
Monument signs not to exceed twelve feet (12′) in height.
3.
One pole sign may be permitted on a tract containing a building greater than forty thousand square feet (40,000 sf) of gross floor area.
4.
Other signs may be permitted, except those signs listed below, subject to approval of the ARC.
5.
The following signs are expressly prohibited in the Downtown Lawton Overlay District:
a.
Off-premise signs (billboards);
b.
Roof signs;
c.
Neon signs on exterior of buildings; and
d.
Portable signs.
C.
All submitted building elevations shall show proposed signage and environmental graphics.
D.
Canopies shall display the name of the business only and shall not include illumination, i.e. string lighting.
(Ord. 2006-67, Added, 09/26/2006)
A.
Uses, buildings, and lots existing as of the effective date of this ordinance, and any amendments thereto, are regulated by this section. The provisions of this section supersede the provisions of Article 7 of this chapter.
1.
Nonconforming Uses of Land. The lawful use of land existing as of the effective date of this ordinance or any amendments thereto, even though such use does not conform to the provisions hereof, may continue subject to the following provisions:
a.
If there are no buildings or structures upon the property, said use shall be discontinued within five years from the effective date of this ordinance or at the effective date of the possible future amendments.
b.
A nonconforming use shall not be expanded or moved in whole or in part to any other portion of the lot or parcel on which it is located.
2.
Nonconforming Uses of Buildings. If a lawful use, involving individual buildings existing on the effective date of this ordinance, or at the effective date of the possible future amendments, becomes nonconforming, said use may continue, subject to the following provisions:
a.
Change of Nonconforming Use. A building use may be changed to another nonconforming use of an equal or more restrictive classification or to a conforming use. A building permit is required for any structural changes.
b.
Effect of Discontinuance. In the even that a nonconforming use of any building or premises is discontinued for a period of two (2) years, the use of the building or premises shall thereafter conform to the use regulations of the land use district in this article.
c.
Expansion of Nonconforming Use. No nonconforming use shall be enlarged, extended, or reconstructed unless such change is to a use permitted in the land use district in this article.
d.
Restoration of Destroyed Use. When a structure occupied by a nonconforming use is destroyed by fire, explosion, natural cause, or public enemy by more than fifty percent (50%) of its replacement value, restoration of the structure shall be subject to the application requirements of Section 18-12-1-1203 of this article, provided that the restored building may only be occupied by the nonconforming use which was destroyed or by a conforming use.
e.
Modernization Permitted. Improvements or remodeling which do not increase the size or intensity of use shall be permitted.
3.
Nonconforming Buildings and Structures. Although a building or structure does not conform to the applicable district regulations or possible future amendments, a lawful existence of the building or structure on the effective date of this ordinance, or at the effective date of the possible future amendments, may continue subject to the following provisions:
a.
Effect of Discontinuance. In the event that a nonconforming building or structure is not used for a period of two (2) years, the building or structure shall thereafter conform to the regulations of the land use district.
b.
Expansion of Nonconforming Building or Structure Prohibited. No nonconforming building, except when required by law, shall be enlarged, extended, reconstructed, or structurally altered unless the building and use comply with all of the regulations of this code.
c.
Relocation of Building or Structure. No nonconforming building or structure shall be moved in whole or in part to another location on the lot unless every portion of the building or structure is made to conform to all of the regulations of this code.
d.
Restoration of Destroyed Building or Structure. When a nonconforming building or structure is destroyed by fire, explosion, natural causes, or public enemy by more than fifty percent (50%) of its replacement value, the restoration of the building or structure shall be subject to the application requirements of Section 18-12-1-1203 of this article, provided that the restored building or structure may only be occupied by a conforming use.
e.
Modernization Permitted. Improvement or remodeling which does not increase the building size or size and intensity of use shall be permitted.
(Ord. 2006-67, Added, 09/26/2006)
A.
Any person aggrieved by a decision of the ARC, the building official, or the director of planning, regarding the issuance of a certificate of architectural conformance for property within the Downtown Lawton overlay district, may file an appeal to the city planning commission within ten (10) calendar days of the notification of the decision.
B.
The applicant shall pay the fee as set forth in Appendix A, Schedule of Fees and Charges.
C.
The appeal shall be placed on the city planning commission agenda within thirty (30) calendar days from the date of the decision of the ARC.
D.
Notice will be sent to the interested parties.
(Ord. 2006-67, Added, 09/26/2006; Ord. No. 20-26, § 2, 11-24-2020)
It is expressly provided that in all cases of conflict between the provisions of this article and other provisions of the city code, the provisions of this article shall control. All other code provisions not in conflict with any section of this article shall continue to apply.
(Ord. 2006-67, Added, 09/26/2006)
Any person or association of persons who violates any provision of this code or fails to comply with any provision of this code is guilty of a misdemeanor and upon conviction thereof shall be punished as provided in Section 1-119 of this code for each twenty-four (24) hour period that such violation exists. In addition to all other remedies for the enforcement of this code and its provisions, the city may institute any proper action in a court of competent jurisdiction to prevent, enjoin, restrain, abate or otherwise correct any violations of this code.
(Ord. 2006-67, Added, 09/26/2006)
No occupancy of any building shall be allowed unless the construction is in accordance with the site plan and landscape plan approved by director of planning and the building has been issued a Certificate of Architectural Conformance by the ARC and a certificate of occupancy issued by the building official.
(Ord. 2006-67, Added, 09/26/2006)
The ARC is authorized to make minor administrative and technical changes or additions in the Downtown Lawton Overlay Design Policy as may be necessary or proper; however, any modification to the concept or form of the Downtown Lawton Overlay Design Policy shall not be made without approval of the city council after receipt of a recommendation from the planning commission.
(Ord. 2006-67, Added, 09/26/2006)
This district allows for a wide range of compatible residential, retail and office uses which shall define the central theme of downtown redevelopment of living and working in the urban environment. The district shall offer a variety of housing complemented by entertainment establishments, restaurants, service providers and sales for personal needs.
(Ord. 2006-67, Added, 09/26/2006)
Beginning at the northeast corner of Lot 1, Block 8 Original Town Site; thence east along south right-of-way line of Gore Boulevard to the northeast corner of Lot 5 Block 2; thence south to the northeast corner of Lot 9, Block 43; thence west to the northeast corner of Lot 1, Block 37; thence north along the west right-of-way line of SW 7th Street to the point-of-beginning.
AND
Beginning at the northeast corner of Lot 1, Block 65, North Addition; thence south to the southeast corner of Lot 16, Block 65; thence west to the southeast corner of Lot 16, Block 62; thence north to a point ten (10) feet north of the northeast corner of Lot 16, Block 62; thence east to a point ten (10) feet north of the northeast corner of Lot 13, Block 63; thence north to the northwest corner of Lot 3, Block 41; thence continuing north fifty (50) feet; thence east to centerline of NW 3rd Street; thence north to centerline of Dearborn Avenue; thence west to a point fifty (50) feet south of the southwest corner of Lot 14, Block 19; thence north to the north right-of-way line of Ferris Avenue; thence east to a point due north of the northeast corner of Lot 5, Block 2, thence south to the northwest corner of Lot 4, Block 65; thence east along the south right-of-way line of NW Arlington to point of beginning.
(Ord. 2006-67, Added, 09/26/2006; Ord. No. 14-24, § 1, 8-12-2014)
A.
The following uses are permitted in the Mixed-Use District:
1.
Single-family residential.
2.
Two-family residential.
3.
Three-and four-family residential.
4.
Multiple-family residential.
5.
Administrative and Professional Office. Offices of firms or organizations providing professional and executive management or administrative services. Typical uses include advertising agencies, law offices, real estate offices, architectural and engineering offices, financial institutions, and corporate offices.
6.
Animal Sales and Services, Kennels and Veterinary: Restricted. Kennel and veterinary services for small domestic animals such as dogs, cats, or other household pets, with all operations and storage conducted within an enclosed building. Typical uses include animal or veterinary hospitals, boarding and breeding kennels, pet motels, and animal training centers.
7.
Automotive, new car dealership provided no repairs occur outside the confines of the building.
8.
Automotive equipment sales provided no outside display or storage of parts.
9.
Automotive repair provided no repairs, paint or body work occur outside the confines of the building.
10.
Building Maintenance Services. Establishments or places of business primarily engaged in the sale, rental, or repair of equipment and supplies used by office, professional, and service establishments primarily to other firms, rather than to individuals, but excluding automotive, construction, and farm equipment. Typical uses include office equipment and supply firms; janitorial services; disinfecting and exterminating services; and vending machine sales and services.
11.
Business Support Services. Establishments primarily engaged in the provision of services of a clerical, employment, protective, or minor processing nature to firms, rather than individuals, and where the storage of goods or equipment other than as samples or as necessary for daily operation is prohibited. Typical uses include secretarial services; telephone answering services; blueprint services; and reproduction services.
12.
Communications Services: Limited. Establishments primarily engaged in the provision of public information, broadcasting and other information relay services accomplished through the use of printed, electronic, and telephone mechanisms but excluding those classified as major impact services and utilities. Typical uses include newspaper publication, television/radio studios, and telecommunication service centers.
13.
Community Recreation: Restricted. Recreational, social, and multipurpose uses that operate during daylight hours and generally are available for public use. Typical uses include golf courses with accessory clubhouses and buildings; and unlighted swim centers, tennis courts, playgrounds, playfields, and public parks.
14.
Community Recreation: General. Recreational, social, or multipurpose open or enclosed uses and accessory buildings which have no fixed seats and occupancy limited to five hundred (500) persons. Typical uses include golf courses, clubhouses, swim centers, tennis centers, playgrounds, playfields, marinas, boat docks, country clubs, and public parks.
15.
Convenience Sales and Personal Services. Establishments or places primarily engaged in the provision of frequently needed, day-to-day retail commercial goods and services. Such uses are designed and intended to serve a limited local market and to be generally within a short walking or short driving distance of a residential area. Furthermore, only uses that do not create increased traffic, noise, or such other impacts considered incompatible with a residential use will be permitted. Typical uses include small grocery stores whose ground floor is less than ten thousand (10,000) square feet in size; drugstores; medical marijuana dispensaries licensed by the State of Oklahoma; candy stores; ice cream parlors; dry cleaning establishments; barbershops; shoe repair shops; self-service laundries; and newsstands.
16.
Cultural Exhibits. Museum-like preservation and exhibition of objects of artistic, cultural, scientific interest, and gallery exhibition of works of art for study and pleasure. Typical uses include aquariums; art galleries; museums; planetariums; and observatories.
17.
Custom Manufacturing. Establishments primarily engaged in the on-site production of goods by hand manufacturing which involves only the use of hand tools or small mechanical equipment not exceeding two (2) horsepower or a single kiln not exceeding eight (8) kilowatts and the incidental direct sale to consumers of only those goods produced on-site. Typical uses include ceramic studios, candle-making shops, or custom jewelry manufacturers.
18.
Day Care Center. Licensed facility providing care and supervision for eight (8) or more children and operating more than thirty (30) hours per week. This does not include informal arrangements which parents make with neighbors, friends, and others or caretakers in the child's own home.
19.
Eating Establishments: Sit-down, Alcohol Not Permitted. Establishments or places of business where customers are seated and served and that are primarily engaged in the sale of prepared foods and beverages for on-premises consumption. They are located at high capacity/high volume sites that are easily accessed by vehicles and pedestrians. Typical uses include restaurants, short-order eating places, cafeterias, and coffee shops where alcoholic beverages are not served or sold.
20.
Eating Establishment: Sit-down, Limited Alcohol Permitted. Establishments or places of business where customers are seated and served and are engaged in the sale, mixing, or dispensing of alcoholic beverages for on-premises or off-premises consumption as accessory to a restaurant operation. Typical uses include restaurants and short-order eating places, serving beer and wine. Annual receipts from the sale of permitted beverages containing alcohol may not exceed 50 percent (50%) of the total receipts.
21.
Eating Establishments: Sit-down, Alcohol Permitted. Establishments or places of business where customers are seated and served and are engaged in the sale, mixing, or dispensing of alcoholic beverages for on-premises or off-premises consumption as accessory to a restaurant operation. Typical uses include restaurants and short-order eating places. Annual receipts from the sale of permitted beverages containing alcohol may not exceed 50 percent (50%) of the total receipts.
22.
Eating Establishments: Fast Foods. Establishments or places of business primarily engaged in the sale of prepared food and beverages for both on- and off-premises consumption. These uses are normally adjacent to high volume pedestrian and/or vehicular movement areas and are characterized by prepackaged and pre-cooked foods and by a central ordering and serving point within the establishment. Typical uses include restaurants.
23.
Eating Establishments: Fast Food with Drive-Through Order Windows. Establishments or places of business primarily engaged in the sale of prepared food and beverages for both on- and off-premises consumption. The facilities have drive-through windows that allow patrons to pick up food orders from their vehicles and encourage off-premises consumption.
24.
Eating Establishments: Drive-in. Establishments or places of business with little or no inside seating where prepared food and beverages are consumed within a motor vehicle on the premises or are carried outside by the purchaser to tables. These uses are normally adjacent to high volume vehicular movement areas and are characterized by either remote order of food from within the vehicle and delivery by attendants or by carrying packages for consumption on or off the premises.
25.
Family day care home. Licensed family home which is operated by no more than one (1) wholly self-employed person residing at and inhabiting the dwelling providing care and protection for seven (7) or fewer children for part of the 24-hour day. This shall not include informal arrangements which parents make with neighbors, friends, and others or caretakers in the child's own home.
26.
Gasoline Sales: Restricted. Establishments or places of business primarily engaged in the on-site retail sale of petroleum products with incidental retailing. Typical uses include automobile service stations. Road service tow trucks are permitted but not the temporary or permanent parking or storage of damaged, wrecked, or inoperable vehicles.
27.
Laundry Services. Establishments primarily engaged in the provision of laundering, dry cleaning, or dyeing services other than those classified as Convenience Sales and Personal Services: General. Typical uses include laundry agencies; diaper services, or linen supply services.
28.
Library. Public facility for the use, but not sale, of literary, musical, artistic, or reference materials.
29.
Light Public Protection and Utility: General. Public services involving direct citizen contact as well as incidental storage and maintenance of necessary equipment or vehicles including public protection or essential utility services. Said services may have technical and locational requirements, necessitating proximity to the area served but should have a minor impact on surrounding uses. Typical uses include ambulance service, fire protection facilities, police substations, civil defense shelters and facilities.
30.
Limited Industrial. Establishments engaged in the manufacture, assembly, research, or processing of products and goods with all operations and processes entirely within an enclosed structure, requiring no outdoor industrial wastewater treatment system, producing no airborne emissions, objectionable noise, glare, odor, vibrations, smoke, or dust associated with the industrial operation. There is no outdoor storage of raw materials and products. Medical marijuana growing facilities and medical marijuana processing facilities are included as permitted uses when associated with a dispensary at the same location. Typical uses include, but are not limited to, bakery employing more than five (5) employees, book bindery, cabinet shop, clothing manufacturing, electronic equipment assembly and manufacturing, furniture upholstering, laundry and dry-cleaning plant employing more than five (5) employees, printing plant, engraving plant, instrument and meter manufacture, optical goods manufacture, prosthetics manufacture, and photographic equipment manufacture. The following other manufacturing uses which may also be considered appropriate, provided there is not outdoor storage of raw materials and products, include but need not be limited to bottling plant, pottery and figurine manufacturing, machine shop, and stone and monument works.
31.
Low Impact Institutional: Neighborhood Related. Public, quasi-public, or private activities of an educational or religious nature, which may have minor impact on surrounding uses and are occupied on an intermittent basis. Such uses are necessary to serve common functions within a residential area and are not designed to provide lodging, except churches may provide lodging. Typical uses include elementary schools and churches.
32.
Medical Services: Restricted. Establishments primarily engaged in the provision of personal health services including prevention, diagnosis and treatment or rehabilitation services provided by physicians, dentists, nurses, and other health personnel as well as the provision of medical testing and analysis services. Typical uses include medical offices, dental offices, dental laboratories, clinics, or health maintenance organizations but not including any sales facilities, hospitals, convalescent centers, or nursing homes.
33.
Medical Services: General. Establishments primarily engaged in the provision of personal health services and including related retail sales activities. Typical uses include medical offices, dental offices, dental laboratories, clinics, or health maintenance facilities with related sales facilities such as opticians or apothecaries in the same structure but not including hospitals, convalescent centers, or nursing homes.
34.
Participant Recreation and Entertainment: Indoor. Those participant recreation and entertainment uses conducted within an enclosed building. Typical uses include bowling alleys and billiard parlors, dance halls, gymnasiums, health clubs, skating rinks, and arcades. Any spectators would be incidental to the participant recreation activity.
35.
Personal Services: Restricted. Establishments primarily engaged in the provision of informational, instructional, and personal improvements and similar services which are able to be located in an office-type building. Typical uses include photography studios, travel agencies, automobile driving schools, reducing salons, dance and music academies, and classrooms for business schools. Lodge and meeting halls, including but not limited to a Masonic Lodge, V.F.W. Post and Shrine Temple shall also be allowed.
36.
Personal Services: General. Establishments primarily engaged in the provision of services to customers or clients which have one (1) or more of the following characteristics: high customer volume, hand-carried parcel delivery or mailing facilities, overnight parking for small service or delivery vehicles, or sale of non-mercantile items such as postage stamps or public event tickets. Typical uses include a post office, theater ticket office, or a utility company business office, and all activity takes place within a completely enclosed building.
37.
Repair Services, Consumer. Establishments primarily engaged in the provision of repair services to individuals and households rather than to firms. Typical uses include appliance repair; apparel repair; musical instrument repair; electrical repair; shoe repair; and jewelry repair shops.
38.
Research Service: Restricted. Administrative offices plus research facilities of a technical or scientific nature which are located within a completely enclosed building. There is no product manufacturing and no outside storage, display, or activity. Typical uses include electronics or medical research facilities including medical marijuana research facilities licensed by the State of Oklahoma, product testing laboratory, or a pharmaceutical laboratory.
39.
Retail Sales and Services: General. Establishments engaged in the sale or rental of goods and services, both retail and wholesale, of commonly used goods, merchandise, and services.
40.
Spectator Sports and Entertainment: Restricted. Establishments or places engaged in provision of cultural, entertainment, athletic, and other events to spectators as well as providing space for social or fraternal gatherings. These uses are conducted within an enclosed building with a capacity of five hundred (500) or less people and include retail sales and storage facilities that are incidental to the operation of such uses. Typical uses include small theaters or amusement places.
41.
Spectator Sports and Entertainment: General. Establishments or places engaged in the provision of cultural, entertainment, athletic, and other events to spectators as well as parking space for social or fraternal gatherings. These uses are conducted in open facilities or within an enclosed building with a capacity of more than five hundred (500) people and include retail sales, storage facilities, and other activities incidental to the operation. Typical uses include large theaters or amusement places.
42.
Taxi or Limousine Service. Business offering motor vehicle transportation for a fee or charge.
43.
Transient Accommodations: Lodging. Lodging services involving room accommodations for travelers, including food, drink, and other sales and services intended for the convenience of guests. Typical uses include hotels, motels, and transient boardinghouses.
44.
Transportation Facilities: Surface Passenger. Surface facilities which contribute to the movement of people on a local or cross-country basis. Typical uses include inter-city bus or railroad passenger terminals, multi-modal transportation stations and local mass transportation passenger stations.
45.
Uses which are similar in character to those enumerated above as determined by the planning commission, provided these uses are not more obnoxious or detrimental to the area in which it is located, by reason of noise, offensive odor, smoke, dust, vibration, traffic congestion or danger to life and property than those uses enumerated above.
46.
Uses Permitted on Review: Any use that is not similar in character to those enumerated above but is determined by the Lawton Urban Renewal Authority to be consistent with the objectives of the Urban Renewal Plan for that area, may be authorized as a use permitted on review as provided in Section 18-1-1-113 of this Municipal Code.
(Ord. 2006-67, Added, 09/26/2006; Ord. No. 22-19, § 1, 7-12-2022)
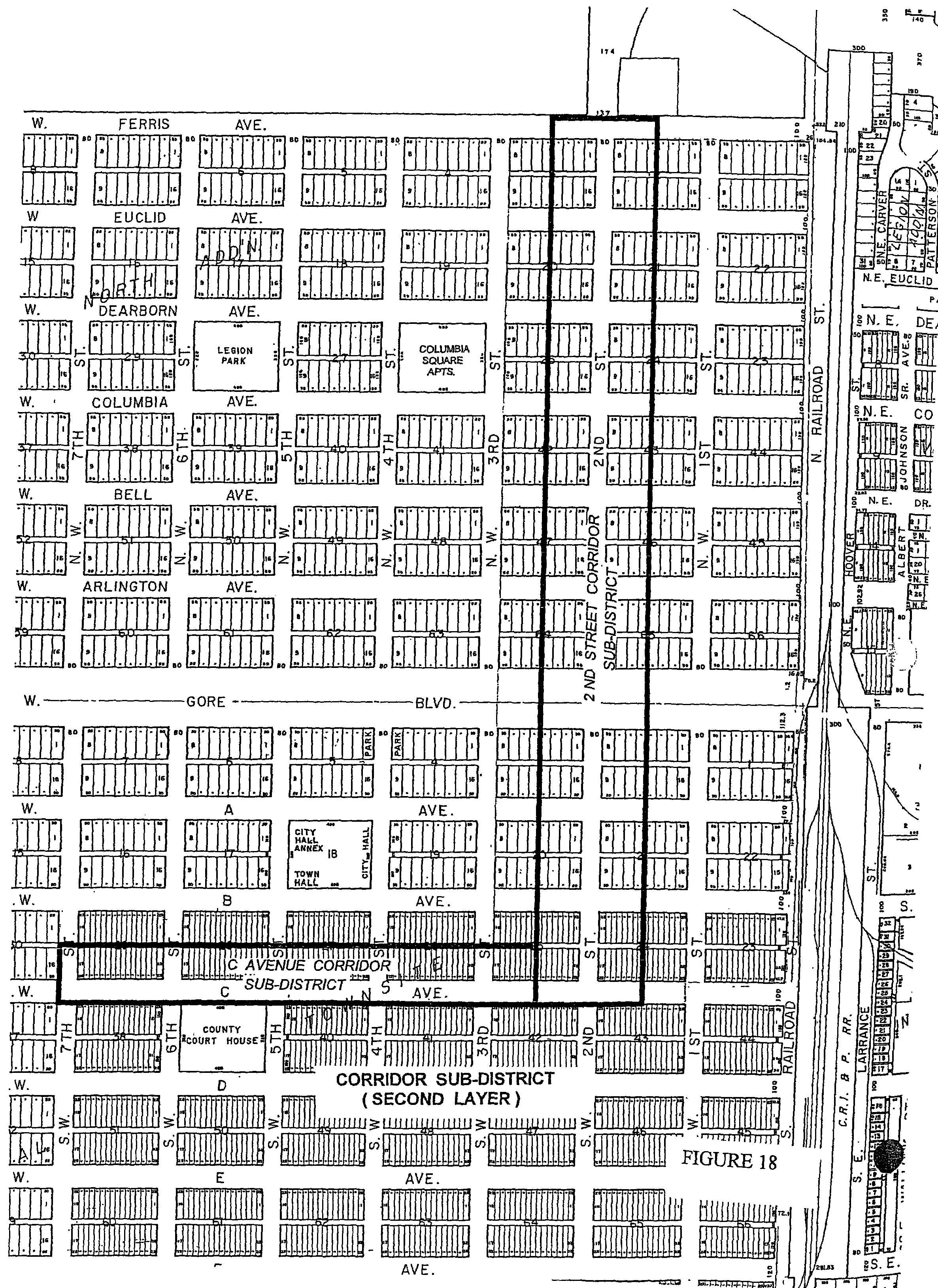
A.
2nd Street Corridor Overlay District
1.
Purpose. 2nd Street, north of C Avenue serves as an entry corridor to downtown Lawton. The following standards are intended to complement those land uses included in the Urban Renewal Plan and to accomplish the revitalization goals contained therein. They are intended to allow and encourage flexibility and innovation in developing projects within the 2nd Street Corridor Overlay District area. They are to be a tool for the City/ARC in reviewing renovation and development plans, as well as a tool for builders to understand the characteristics and intent of downtown development.
2.
Description of 2nd Street Corridor. The 2nd Street Corridor District is defined as that area extending one-half block easterly and one-half block westerly of 2nd Street, bounded by north right-of-way of SW C Avenue to the south and the south right-of-way of NW Ferris Avenue to the north.
3.
Supplemental Regulations. In addition to the General Provisions of the Downtown Lawton Overlay District the following provisions shall apply to the 2nd Street Corridor Overlay District:
a.
Building Materials. All buildings shall be clay fired brick or other material as approved by the ARC.
b.
Parking
1)
All parking lots fronting or otherwise adjacent to 2nd Street shall be set back a minimum of twenty feet (20′) from the property line, and a soft landscaping screen shall be utilized to buffer the area from the street, as well as bridge the disconnect between buildings. If a wall is built, it must be compatible with the adjacent architecture landscaping materials shall be those listed in the Downtown Lawton Overlay Design Policy.
2)
On-street parking and loading areas shall be prohibited in the 2nd Street Corridor.
3)
Off-Street parking and loading facilities shall be provided in accordance with Article 8 of this chapter. In the downtown area as defined in Section 18-1-1-106 of this chapter there shall be no requirement for off-street parking and loading facilities; however, if off-street parking and loading facilities are provided, the design standards of Article 8 shall be met.
c.
Drive Openings. Vehicular access to any lot shall not be directly from 2nd Street, except for those properties with existing access, which cannot be accessed from an abutting side street. Where properties are combined for redevelopment, access from side streets shall be provided.
d.
Street Furnishings. For continuity, only one type of bench and one type of trash receptacle shall be allowed in the 2nd Street Corridor. See the Downtown Lawton Overlay Design Policy for the type and manufacturer of bench and trash receptacle.
B.
C Avenue Corridor Overlay District
1.
Purpose. C Avenue from 2nd Street to 7th Street serves as the main street of downtown. The following standards are intended to complement those land uses included in the Downtown I Urban Renewal Plan and to accomplish the revitalization goals contained therein. They are intended to allow and encourage flexibility and innovation in developing projects within the C Avenue Corridor area. They are to be a tool for the City/ARC in reviewing renovation and development plans as well as a tool for builders to understand the characteristics and intent of downtown development.
2.
Description of C Avenue Corridor. Beginning at the northeast corner of Lot 24, Block 25, Original Townsite; thence south two-hundred and fifty (250) feet to the south right-of-way line of SW C Avenue; thence west to the northeast corner of Lot 1, Block 37; thence north along the west right-of-way line of SW 7th Street to the northeast corner of Lot 16, Block 30; thence east to the point of beginning.
3.
Special Regulations. In addition to the General Provisions of the Downtown Lawton Overlay District the following provisions shall apply to the C Avenue Corridor Overlay District:
a.
Parking
1)
Off-street parking and loading facilities are not required in the C Avenue Corridor; however, if off-street parking and loading facilities are provided, the design standards of Article 8 of this chapter shall be met.
2)
All parking lots fronting or otherwise adjacent to C Avenue shall be set back a minimum of twenty feet (20′) from the property line, and a soft landscaping screen shall be utilized to buffer the area from the street, as well as bridge the disconnect between buildings. If a wall is built, it must be constructed of materials compatible with the adjacent architecture. Landscaping materials shall be those listed in the Downtown Lawton Overlay Design Policy.
(Ord. 2006-67, Added, 09/26/2006)
This district is intended to accommodate those commercial needs of the regional trade area. Such accommodation shall be provided in a unified shopping center with architectural and space controls as necessary to meet market and economic demands.
(Ord. 2006-67, Added, 09/26/2006)
Beginning at the southeast corner of Lot 16, Block 65, North Addition; thence north to the northeast corner of Lot 1, Block 65, thence west to the northwest corner of Lot 4, Block 65; thence north to the north right-of-way line of Ferris Avenue; thence east to the east right-of-way line of N Railroad Street; thence south along the east right-of-way line of N Railroad Street to a point east of southeast corner of Lot 16, Block 66; thence west along north right-of-way line of Gore Boulevard to the point-of-beginning.
AND
Beginning at northwest corner of Lot 4, Block 2, Original Townsite; thence east to east right-of-way line of N Railroad Street; thence south along the east right-of-way line of N Railroad Street to point east of northeast corner of Lot 1, Block 44; thence west along the south right-of-way line of SW C Avenue to northwest corner of Lot 8, Block 43; thence north to the point-of-beginning.
(Ord. 2006-67, Added, 09/26/2006)
A.
The following uses are permitted in the Commercial Central District:
1.
Convention centers.
2.
Day care centers, licensed by the State of Oklahoma.
3.
Department stores.
4.
Hotels.
5.
No bars or lounges will be permitted; however, private clubs and entertainment will be permitted when the serving of alcoholic beverages is auxiliary to a restaurant use.
6.
Parking, public and/or private.
7.
Professional offices and financial institution (excluding pawn shop).
8.
Restaurant (no drive-in).
9.
Specialty retail stores and shops.
10.
Stores and shops for retail business, including incidental minor repair and service.
11.
Theater and movie.
12.
Transportation facilities: Surface passenger. Surface facilities which contribute to the movement of people on a local or cross-country basis. Typical uses include inter-city bus or railroad passenger terminals, multi-modal transportation stations and local mass transportation passenger stations.
13.
Accessory uses customarily incidental to the above uses.
14.
Any other use which is similar in character to those enumerated above as determined by the planning commission, provided these uses are not more obnoxious or detrimental to the area in which it is located, by reason of noise, offensive odor, smoke, dust, vibration, traffic congestion or danger to life and property than those uses enumerated above.
15.
Other public uses necessary for access to interior areas for emergency vehicles and service.
16.
Uses Permitted on Review. Any use that is not similar in character to those enumerated above but is determined by the Lawton Urban Renewal Authority to be consistent with the objectives of the Urban Renewal Plan for that area, may be authorized as a use permitted on review as provided in Section 18-1-1-113 of this Municipal Code.
(Ord. 2006-67, Added, 09/26/2006; Ord. No. 10-05, § 1, 2-9-2010; Ord. No. 22-19, § 2, 7-12-2022)
A.
Building Height. In the Commercial Central District no building shall exceed one hundred sixty-five (165) feet.
(Ord. No. 10-05, § 2, 2-9-2010)
To provide for a diverse but integrated live-work play environment that promotes a cohesive neighborhood lifestyle.
(Ord. 2006-67, Added, 09/26/2006)
Beginning at the northeast corner of Lot 13, Block 63, North Addition; thence north ten (10) feet for the point of beginning; thence west to a point ten (10) feet north of the northeast corner of Lot 16, Block 62; thence north along the west right-of-way line of NW 4th Street to the north right-of-way line at Ferris Avenue; thence east to a point one-hundred (100) feet north of the northeast corner of Lot 4, Block 4; thence south to the southeast corner of Lot 13, Block 19; thence continuing south fifty (50) feet to the centerline of NW Dearborn Avenue; thence east to the centerline of NW 3rd Street; thence south to the centerline of NW Columbia Avenue; thence west one-hundred ninety (190) feet to a point north of northeast corner Lot 4, Block 41; thence south to the point of beginning.
(Ord. 2006-67, Added, 09/26/2006; Ord. No. 14-24, § 2, 8-12-2014)
A.
The following uses shall be permitted in the Medium Intensity Residential District:
1.
Single-family residential dwelling unit
2.
Two-family residential dwelling unit
3.
Assisted living center, retirement center, nursing home
4.
Bed and breakfast
5.
Church
6.
Family day care home
7.
Library
8.
Multiple-family dwelling apartment houses; provided however, that a structure to be used as a dwelling for more than four (4) families shall be of new construction, originally designed for the number of dwelling units contained in or proposed for the structure.
9.
Non-profit institutions of higher education with all accessory and auxiliary buildings and uses customarily incidental to such institutions.
10.
Public park or playground
11.
Public school or school offering general educational courses the same as ordinarily given in public schools and having no rooms regularly used for housing and sleeping.
12.
Rooming or boarding house
13.
Accessory uses customarily incidental to home occupation as permitted by the Lawton City Code when situated in the same dwelling, such as dressmaking, seamstress, tailoring, or millinery, when engaged in by members of the resident family.
14.
Accessory buildings including a private laundry, utility or storage building, garage, and carport as a part of a residential dwelling or housing project.
(Ord. 2006-67, Added, 09/26/2006)
A.
Building Materials. In the area of Medium Intensity Residential District the primary building materials shall be clay fired brick or wood plank siding or similar material to complement the surrounding residential district. Other high quality architectural materials may be used on a portion of the structure not to exceed forty-nine percent (49%) subject to review and approval of the ARC. Window and door areas shall be included in the calculation necessary to determine the allowable other material portion of building material requirement.
B.
Building Height. In the Medium Intensity Residential District no building shall exceed forty-five feet (45′).
C.
Setbacks. In the Medium Intensity Residential District the following setbacks shall be met:
1.
Front Yard. All buildings in the Medium Intensity Residential Overlay District shall be set back from street right-of-way lines to comply with the following front yard requirements:
a)
All buildings shall sit back a minimum of twenty feet (20′) from back of the curb or at the right-of-way line, whichever is greater.
b)
When a yard has double frontage, the front yard requirements shall be complied with on both streets.
2.
Side Yard. All buildings shall provide a side yard setback of one-half (½) the height of the proposed building.
3.
Rear Yard. All buildings shall provide a rear yard setback of one-half (½) the height of the proposed building.
4.
Extensions into Yard Areas. The following features may extend into the required minimum yard areas. Such extensions shall not exceed five feet (5′) into the front and rear yards and two feet (2′) into the side yards.
a)
Open or lattice enclosed fire escapes required by the fire code;
b)
Fireproof outside stairways required by the fire code;
c)
Balconies opening into fire towers projection required by the fire code;
d)
The ordinary projection of chimneys and flues; and
e)
Projecting roof structural lines or eaves, provided that covered porches may not extend into the required front yard.
D.
Accessory Structures. Accessory structures shall be permitted in the area of Medium Intensity Residential District subject to the following:
1.
Accessory structures shall complement the architectural style of the main structure.
2.
Accessory structures shall meet the side yard setback requirement set out in Section 18-5-5-562, rear yard setback requirement set out in Section 18-5-5-563, and separation requirement set out in Section 18-4-1-404.1 of this chapter.
E.
Parking.
1.
All off-street parking and driveways for single-family and two-family residential shall be located in the rear of the property with access from the alley.
2.
Driveways are prohibited from extending into the front yard for single-family and two-family residential.
(Ord. 2006-67, Added, 09/26/2006)
This district is intended to serve the park and open space and public building needs of the community.
(Ord. 2006-67, Added, 09/26/2006)
The entire right-of-way of Gore Boulevard from the east right-of-way line of Railroad Street to the west right-of-way line of 7th Street.
(Ord. 2006-67, Added, 09/26/2006)
A.
The following uses are permitted in the Public District:
1.
Any use by a governmental unit or instrumentality thereof.
2.
Parks and public open space, including public gardens.
(Ord. 2006-67, Added, 09/26/2006)
DOWNTOWN LAWTON OVERLAY
DISTRICT DESIGN POLICY
The purpose of the Downtown Lawton Overlay District is to encourage economic development of the area, to regulate the character and appearance of the area, and preserve and protect surrounding neighborhoods. The theme for Downtown Lawton was developed in the Revitalization Plan. Downtown Lawton is to be developed as a "live-work" environment; once that supports and celebrates the pedestrian, and encourages activity throughout the day. The Wichita Mountains, native stone, and Fort Sill are images and materials that provide the desired look and feel for downtown Lawton.
In addition to Section 18-1-106, the following definitions are for terms commonly used in the Downtown Lawton Overlay District Design Policy:
A.
Anchors: (An anchor store) A large store, such as a department store or supermarket, that is prominently located in a shopping mall to attract customers who are often expected to patronize the other shops or stores in the mall.
B.
Architectural review committee shall be the Lawton Urban Renewal Authority.
C.
Bollard: A low single post, or one of a series, usually stone, set to prevent motor vehicles from entering an area.
D.
Cornice: The exterior trim of a structure at the meeting of the roof and wall; usually consists of bed molding, soffit, fascia and crown molding.
E.
Corridor: A relatively long, narrow densely developed region of the city facilitating access to two or more areas of the city.
F.
Gateway: An entrance, opening or structure that services as an entrance or means of access.
G.
Kiosk: A small gazebo or pavilion, usually open, built in gardens and parks. Similar small structures, either enclosed or open on one side, serve as informational points or may be used for the sale of merchandise such as newspapers or magazines.
H.
Lintel: A horizontal structural member, such as a beam, over an opening which carries the weight of the wall above it; usually of steel, stone or wood.
I.
Luminaire: A complete lighting unit including lamp, shade, reflector, fixture and other accessories.
J.
Pilaster: Usually decorative features that imitate integral or attached columns or piers but are not supporting structures, as a rectangular or semicircular member used as a simulated pillar in entrances and other door openings; may be constructed as a projection of the wall itself.
K.
Portico: A covered entrance whose roof is supported be a series of columns or piers, commonly placed at the front entrance to a building.
L.
Rotunda: A circular building or structure, especially one with a dome.
M.
String course: A horizontal band of masonry, generally narrower that other courses, extending across the facade of a structure and in some instances encircling such decorative features as pillars or engaged columns; may be flush or projecting, and flat-surfaced, molded, or richly carved.
A.
Overall Building Design Concepts. Building groupings should be composed of a series of individual elements that stand on their own, but when combined contribute to a coherent overall sense of place.
B.
Character and Massing. Architectural massing is the act of composing and manipulating three-dimensional forms into a unified coherent architectural configuration. During this process, the relations among massing elements are studied; this includes the relations of the building with its surrounding context and of the building with its subparts. Massing comprises all decisions affecting the external architectural form. It is a crucial component of design because it is the phase where a designer defines the building's identity as well at the impact it has on its urban environment. Breaking down the massing and scale of larger buildings creates a pedestrian scaled collection of smaller individualized elements that is in keeping with the overall concept. The following character and massing techniques are encouraged:
1.
Created a varied skyline with forms (i.e. towers, domes and rotundas), especially at corners.
2.
Accentuate important locations, especially entries.
3.
Architecture shall enhance the pedestrian experience by providing human-scaled details and amenities.
C.
Exterior Appearance of Buildings
1.
Expression of Base, Middle, Roof. Architectural massing that strongly defines a base, middle and roof is strongly encouraged. Roof forms shall be expressed whenever possible along the pedestrian realm in a visually interesting fashion, avoiding flat, unarticulated expressions.
2.
Modules. The massing of any facade should generally not exceed fifty feet (50′) maximum (horizontal dimension). Shop fronts should be broken down even further, with massing variations every thirty feet (30′) or less. Use variations to enhance the articulation of building volumes.
3.
Corner Treatment. Corners of buildings are encouraged to be eroded at key intersections to open up visibility and allow collection areas for pedestrians. Cafes and other uses that promote street life are encouraged at these corner locations. Buildings will be designed to meet the sight triangle requirements of Section 18-4-1-404.1 of the Lawton City Code without compromising the corner design.
4.
Windows
a.
Punched-type windows are appropriate. They should be inset a minimum of eight inches (8″) from the face of the building to create deep shadow lines and visual relief.
b.
To control glare and reinforce the traditional image of bearing wall architecture, ribbon windows and curtain walls are not allowed.
c.
Clear glass is required in all retail storefronts; smoked, reflective, or black glass is prohibited. However, if specialized retail items or activities require a different type glass, the developer may request approval of an alternative by the ARC.
d.
Use of reflective glazing shall be avoided on the ground floor. However, if specialized retail items or activities require a type of reflective glazing, the developer may request approval by the ARC. Use of reflective glazing on the second level and above is subject to review by the ARC.
5.
Awnings and Canopies
a.
Structural awnings/canopies are encouraged at the ground level to enhance articulation of the building volumes.
b.
The material of awnings and canopies shall be architectural materials that complement the building such as metal flashing and wood trim. Some fabrics may be allowed; however, vinyl is prohibited.
c.
Awnings/canopies shall not be internally illuminated.
d.
Awnings/canopies shall not exceed the length of fifty feet (50′) without a break.
e.
Awnings/canopies shall not extend more than three feet (3′) over the sidewalk of right-of-way whichever is closer.
f.
Awnings and canopies are not recommended adjacent to street trees and lighting.
g.
All designs of awnings/canopies will be approved by the ARC.
6.
Colors
a.
Color palette shall take cues from the surrounding environment of Lawton, integrating the classic base colors of Oklahoma materials including but not limited to warm earth tones such as tan, green, ochre, beige, blue, and terra cotta.
b.
Vibrant accents may be used in limited quantities at appropriate locations. Accents are to be of high quality materials and used to promote a vibrant street life in a manner compatible with the nature of the street.
7.
Materials
a.
A minimum of fifty-one percent (51%) of the building material shall be clay fired brick. In sub-districts without specific building material requirements, architectural materials defined in Downtown Lawton Overlay District may be used on a portion of the structure not to exceed forty-nine percent (49%) subject to review and approval by the ARC. Window and door areas shall be included in the calculation necessary to determine the allowable other material portion of building material requirement.
b.
High quality materials such as terra cotta, natural stones, clay fired masonry units, or other approved masonry materials are encouraged for architectural details and accents whenever appropriate. A stronger use of details and materials is suggested at entries and the ground floor.
c.
When incorporated into the building a high quality durable base material, such as terra cotta, natural stone, cast stone, clay fired brick, or other approved masonry materials should be used for building facades abutting the sidewalk. The base is recommended to be a minimum of eighteen inches (18″) in height and appropriately proportioned and detailed for the facade of the building.
d.
Roof materials shall be of high quality. Different materials and finishes that promote variety and individuality to buildings within an overall compatible palette of materials are encouraged. The use of heavy gauge standing seam metal roofs shall be subject to review by the ARC.
8.
Details. Large expanses of flat exterior cement plaster walls will not be allowed. When large amounts of mass are required, the mass shall be broken down by changes in plane, reveals or decorative details. The following accent features add detail and are encouraged:
a.
overhangs
b.
cornices
c.
string courses
d.
peaked roof forms
e.
arches
f.
window sills
g.
outdoor patios
h.
lintels
i.
pilasters
j.
canopies, awnings or porticos
k.
architectural details (i.e. tile work and moldings)
l.
integrated planters or wing walls with landscape and sitting areas
9.
Screening of Mechanical Units and Service Areas
a.
All mechanical units and services areas shall be screened from public view. This includes, but is not necessarily limited to, the following: air conditioners, transformers, trash collection equipment, off-street loading areas, etc.
b.
When roof decks with mechanical units are visible from adjacent developments, they shall be as unobtrusive as possible and painted to match finish roof material. The addition of parapet walls enclosing the mechanical units is encouraged.
c.
Trash collection areas, loading areas, and services areas must be incorporated into the building envelope or screened by a masonry wall at least six feet (6′) or one foot (1′) higher than the container it screens (whichever is higher).
d.
All screening will be complementary to the building served in material and landscaping approach through the use of a similar material palette.
A.
Landscape Plans. A landscape plan, separate and apart from other required plans, shall be submitted and made a part of the file at the time of submission for a building permit. No landscape plans are required for single-family residential developments. For property located in the downtown area as defined in Section 18-1-1-106 of the Lawton City Code, payment of a fee in lieu of landscaping shall be submitted based on the number of points required by Section 18-12-1-1210 if landscaping is not to be installed. The funds will be used by the city to beautify the rights-of-way in the downtown area. The fees are set out in Appendix A, Schedule of Fees and Charges, of the Lawton City Code.
1.
All landscape plans shall include the following information:
a.
North arrow and scale;
b.
The location of existing property lines and dimensions of the tract, accurately drawn to scale;
c.
Exact locations and outline of all rights-of-way (both existing and proposed by the Functional Classification Plan of Streets of the City of Lawton);
d.
The location of all existing and proposed buildings and parking areas, including the exact number of parking spaces provided;
e.
The location and size of any permanent fixture or structure, including but not limited to sidewalks, walls, fences, trash enclosures, project storage, lighting fixtures, signs, and benches which are relevant to the landscape plan;
f.
The location, size, type, spacing (on center), and quantity of all proposed plant materials and existing plant materials credited for points shall be graphically represented and referenced on the plan by a common name and/or scientific name or an appropriate key of all plant species;
g.
A detailed sprinkler diagram or irrigation plan showing coverage. If an automatic irrigation system is not proposed, the location of all required hose connections and other watering sources shall be noted;
h.
All screening required by these regulations; and
i.
A table listing the square footage of the developed area, number of proposed parking spaces, and all plant materials by scientific and common name, size, type, quantity, and point value and totals.
B.
The developer shall determine the location, size, and type of all above ground and underground public utilities to identify any safety hazards during installation. Plants and trees should be placed where they will not interfere with utilities, with particular attention given to the growth reached at maturity. In addition, as required in other sections of the city code, property owners shall keep vegetation trimmed in accordance with the Property Maintenance Code of the City of Lawton. All trees and plants should fit the microclimate, soils, sun, moisture, and environment in which they are planted. Selected trees and plants should be able to endure pollution, compacted soils, minimal water and low maintenance. Trees with a strong horizontal branching characteristics should be selected.
C.
Definitions. As used in the policy, the following terms shall have the meanings given:
1.
Caliper means the diameter of a tree trunk less than twelve inches (12″) in diameter. For trees less than four inches in diameter (4″) and twelve inches (12″) in diameter, it is measured twelve inches (12″) from the ground.
2.
Deciduous means a plant with foliage that is shed annually.
3.
Developed area means the area of a lot that is disturbed for the purpose of developing structures, parking facilities, loading or storage areas, paved access to off-street parking or loading areas of other areas paved with an all-weather material, or landscaped areas.
4.
Developer means the legal or beneficial owner of a lot or parcel or any land proposed for development and/or inclusion in a development, including the owner of an option, contract to purchase, or lease.
5.
Evergreen means a plant with foliage that persists and remains green year-round.
6.
Groundcover means an evergreen or deciduous planting less than twenty-four inches (24″) in height, excluding turf grass.
7.
Irrigation system means a permanent underground piping and sprinkler head system designed using industry standard methods to provide uniform irrigation coverage over a landscaped area.
8.
Landscape buffer means a combination of living vegetation, such as trees, shrubs, grasses or ground cover material, planted or transplanted and maintained.
9.
Landscape plan means graphic and written criteria, specifications, and detailed plans to arrange and modify the effects of natural and manmade features such as plantings, ground and water forms, circulation, walks, structures, and other features to comply with the provisions of this ordinance.
10.
Landscaped area means any area that contains trees, shrubs, and/or groundcover that have been claimed for point credits.
11.
Mulch means an organic material such as seed hulls, pine needles or tree bark used to control weed growth, reduce soil erosion and reduce water loss.
12.
Parking lot means any off-street, unenclosed ground level facility used for the purpose of temporary storage of motor vehicles. Enclosed parking facilities, such as single or multi-story garages or parking facilities constructed within the confines of a larger building or structure, or parking facilities associated with single family residential development are not included within this definition.
13.
Parking lot planting means plantings of hardy trees, shrubs, and/or ground cover required due to the construction of impervious surface parking to be planted within and/or around the perimeter of the parking lot area, excluding parking garages, decks and covered parking.
14.
Parking lot island means a planting island contained completely within the confines of a parking lot.
15.
Planting plant means the preparation of graphic and written criteria of plant placement, plant specification of type, size and spacing, and other features to comply with the provisions of this section and Section 18-12-1-1210 of the Lawton City Code.
16.
Right-of-way means a strip of land occupied or intended to be occupied by a street, crosswalk, railroad, road, electric transmission line, oil or gas pipeline, water main, sanitary or storm sewer main, or for another special use. The usage of the term "right-of-way" for platting purposes shall mean that every right-of-way hereafter established and shown on a record plat is to be separate and distinct from the lots or parcels adjoining such right-of-way and not included within the dimensions or areas of such lots or parcels.
17.
Shrub means a living self-supporting woody deciduous or evergreen species no less than eight inches (8″) in height, and no greater than fifteen feet (15′) in height, which will remain full and attractive throughout the year.
18.
Sight-proof fence means a solid opaque fence or wall that is a minimum of six feet (6′) but no more than eight feet (8′) in height, made of wood, masonry, decorative metal, or other suitable material in compliance with the city code.
19.
Sight triangle is defined in Section 18-4-1-404.1 of the Lawton City Code.
20.
Street tree is a tree located in existing or future sidewalk adjacent to a road or street, enclosed in a tree grate to protect the tree from pedestrian traffic.
21.
Tree means a living self-supporting woody or evergreen plant that normally grows to a minimum height of fifteen feet (15′) and which has one or several self-supporting stems or trunks and numerous branches.
22.
Turf grass means existing or installed grass that has been sodded, seeded, or hydro-mulched. Turf grass eligible for point credits must be located within the property lines of a development. The maximum credit for turf is twenty-five percent (25%) of the total landscape points required for any site. All turf credited for points shall completely cover all exposed areas of soil after one full growing season.
D.
Trees. The following are recommended guidelines for tree selection and pattern:
1.
General Tree Guidelines.
a.
When selecting the tree species and patterns of planing, consideration should be given to the following: distance of trees from buildings, sidewalks, streets and one another; how the tree will look at maturity; seasonal colors; bark characteristics; uniformity and size of canopy shape; and whether the trees produce berries of thorns.
b.
Trees should be planted far enough apart from each other so that when they are mature, the edges of the tree canopies barely touch. For example, if trees have a twenty-five foot (25′) spread, space them at twenty-five feet (25′) on center.
c.
Trees are encouraged where possible within the downtown area; in particular at intersections and as a transition to adjacent neighborhoods.
d.
The crape myrtle has been designated as the official tree for the City of Lawton, and its use should be emphasized wherever appropriate.
2.
Tree Location and Size.
a.
When selecting the location and size of trees for a location, consideration should be given to the following: the mature tree size before planting so that trees have room to grow; locations of signs, lights, overhead or underground utilities; planting trees, where possible, with regular spacing; and possible sight and space interference with pedestrian and vehicular traffic.
b.
Plant trees a minimum of thirty inches (30″) next to the back-of-curbs.
c.
At alleys trees should not be located closer than ten feet (10′) from the projected alley property line.
d.
Create a clear walking zone between trees and buildings. Distances as low as five feet (5′) may be possible where space is very limited; however, few tree species will be appropriate in such a small area. Trees must be placed far enough away from buildings to allow them to grow without excessive pruning.
e.
Trees shall be required to meet the following size requirements:
f.
Street trees in grates should be three inches (3″) caliper, minimum, with high branching where pedestrians will be passing beneath the tree canopy. This size is recommended so that adequate branching height is achievable without severe pruning. Note that under the favorable conditions of a tree lawn, this size tree may soon exceed the growth rate of a larger tree planted in a grate.
g.
The branching height of mature trees should be no less than eight feet (8′) above the sidewalk.
h.
Small varieties of thornless and fruitless trees may be used only in median areas or parking lot islands where lower branching habit will not interfere with pedestrians, vehicles, or driver visibility.
3.
Tree Selection.
a.
It is recommended that all trees should meet or exceed the standards for plant material as set forth in the American Standard for Nursery Stock,
b.
Trees near walks should be thornless and fruitless to minimize maintenance and to reduce hazards. They must be strong, wooded, resistant to most diseases and insects, single trunked, with upright growth and a medium to long life expectancy. Branches should resist breaking. Their roots must not grow close to the surface.
4.
Street Trees. The following is the approved list of Street Trees. Other species may be utilized with approval from the director of planning.
A formal, repetitive use of trees is recommended to unify districts and create a continuous pedestrian scale suited to storefronts to buffer people from cars and make a more comfortable setting.
5.
Special Use and Ornamental Trees. Special use and ornamental trees shall not be planted as street trees unless approved by the director of planning; however they may be used in medians and neighborhood entry marker plantings. These types of trees shall only be used where overhead power lines along the street edge would not allow a large street tree to reach maturity without sever pruning. The canopy of special use and ornamental trees, when mature, shall not extend over the sidewalk where street trees are located.
E.
Tree Grates. Tree Grates constructed of either cast iron or ductile iron with two (2) openings for uplighting may be required in certain sub-district regulations. The director of planning shall maintain a list of approved tree grates and manufacturers.
1.
Tree grates, and their installation, shall comply with the Americans with Disabilities Act.
2.
The design of the slots shall be: 3-4 full circle rings of the oval slots, none to exceed one half inch (½″) in width, all radiating lengthwise from trunk outward; and where the corners of the tree grates shall continue the same pattern of rings of slots, as the rest of the tree grates.
F.
Groundcover, Shrubs, and Flowers. Plantings other than trees in the streetscape may include turf, groundcovers or shrubs. All species must be approved by the director of planning prior to being planted. This area helps soften the street environment along the street edge. Tree lawns should be planted with sod or low groundcovers (below six inches (6″) mature height) in commercial areas where pedestrian traffic does not warrant paving. Where there are very narrow spaces, all efforts should be made to successfully install plant material there. If it is agreed that plant materials cannot grow there successfully, then those areas may be paved with brick, flagstone, or concrete pavers and/or colored or scored concrete, as approved. All plantings shall have four inches (4″) of approved finely chopped tree mulch spread evenly.
G.
Parking Lot Landscape Requirements. All non-covered, street-level parking facilities shall be landscaped in accordance with the following requirements:
1.
Consistent repetitive placement of streetscape elements, i.e. trees, is recommended to be placed every twelve (12) parking spaces on surface parking lots.
2.
The distance between any parking space and a landscaped area shall be no more than seventy-five feet (75′).
3.
Required parking lot plantings shall be in-ground and not placed upon a paved surface.
4.
All parking lot planting areas shall be protected with concrete curbs or approved equivalent barriers. Bumper blocks shall not be used for boundaries around the landscaped area.
5.
Each tree shall be planted a minimum of two feet (2′) away from the outside of any permanent barrier of a landscaped area or edge of the parking area.
6.
All groundcover shall be a mature height of not more than twenty-four inches (24″). Loose rock, gravel, decorative rock or stone, or mulch shall not exceed twenty percent (20%) of the parking lot planting area.
H.
Landscape Irrigation Requirements. The developer is required to install an irrigation system to all required landscape areas to ensure that sufficient water is delivered to the plant material.
I.
Completion Requirement. A certificate of occupancy, for any use, shall not be issued until the required landscaping has been installed in accordance with the landscape plan or fee in lieu of landscaping has been paid; provided, however, if a structure and all site improvements are complete except for the required landscaping, temporary occupancy may be permitted for a period of six (6) months.
J.
Maintenance. Maintenance of the installed landscaping shall be the responsibility of the property owner. If landscaping is not properly maintained, the city shall be authorized to abate is at as a public nuisance and the owner of the property shall be required to install any removed landscaping consistent with the original landscaping plan.
A.
Fencing and Railings. Fencing in conjunction with a streetscape should be an attractive design characteristic to a neighborhood, create space, and reduce noise, while railings can assist those going up stairs and ramps, serve as a safety barrier and provide a place for people to lean against. When selecting fencing and railing, careful consideration should be given to the following: resistance to vandalism, the height and material should relate to the building architecture and character of the district, compliance with the Americans with Disabilities Act, the flow of pedestrian traffic in the vicinity, the height of the fences; and the strength of the railings when many people sit on them.
B.
Street Furnishings. Street furnishings such as seating, newspaper racks, bicycle racks, bollards, and trash receptacles are important functional elements and amenities, especially in the commercial streetscape. They should be attractive and unified within any given district.
1.
See the Appendix for details on each of the following street furnishing. The director of planning shall maintain a list of approved street furnishings and manufacturers.
a.
Exhibit A - Bicycle Racks
b.
Exhibit B - Bollards
c.
Exhibit C - Newspaper Distribution Units (Newspaper Racks)
d.
Exhibit D - Seating
e.
Exhibit E - Trash receptacles
f.
Exhibit F - Kiosks
g.
Exhibit G - Public Art
2.
Mailboxes. Mailboxes are placed by the U.S. Postal Service. Their location should be coordinated with the postal service during design to minimize clutter.
3.
Lighting.
a.
Street Lighting. Street lighting plays an important role in the quality, character, function, and safety of streets, especially at night. Lighting illumination levels are based on two criteria: the uses along the street (such as commercial or residential) and the volume of automobile traffic. Scale, style, lighting effect, cost, and maintenance affect fixture selection. All proposed light poles, fixtures and accessories shall be approved by the ARC.
b.
Spacing and Location
1)
Locate lights in a consistent pattern that complements other street elements such as trees, benches, and paving.
2)
Place lights at least two and one-half feet (2 ½′) from the back of curb to allow room for car bumpers and door swings. Align with street trees where possible.
3)
Place lights at least five feet (5′) from the edge of the curb transition point nearest the driveway, curb cut, or alley and at least twenty feet (20′) from the extended flow line of the nearest intersection.
4)
Space lights at least fifty feet (50′) apart. Sixty feet to one hundred feet (60′ - 100′) is preferable in most cases to provide a pleasing effect and to ensure room for street trees and other furnishings. Closer spacing is discouraged to avoid uncomfortable glare.
5)
Install luminaries a maximum of fourteen feet (14′) and a minimum of twelve feet (12′) above sidewalks to avoid glare into upper windows. Avoid placing lights directly in front of residences to avoid disturbing inhabitants.
6)
Spillover lighting into abutting lots should not exceed 0.2 foot candle, measured at the lot line.
7)
Lighting plans must have a photometric plan.
c.
Style and Materials. Select lighting styles to integrate with the architecture or historical character of the area.
1)
Acorn type luminaires are recommended for most commercial streets in order to maintain consistency throughout the Downtown Lawton Overlay District. Avoid selecting different types of lighting for small projects.
2)
Poles should be well articulated with enough detail to create a range of scale for the pedestrian whether near or far away. Flutes, moldings, or other traditional details are strongly preferred.
3)
Alternative fixtures that reflect local architectural or historical character are subject to approval.
4)
Single luminaires are highly preferred over multiples, which should be considered only for specific locations such as gateways or entry points of a district.
5)
Luminaires are to be translucent or glare-free, utilizing obscure glass or acrylic lenses.
6)
Multiple luminaires should not be more than one hundred (100) watts in each luminaire.
7)
All light poles on 2nd Street and C Avenue shall have banner arms attached to them.
8)
Light poles and accessories shall be a bronze type color.
4.
Signs. The appearance of all signs shall be compatible with the purpose of the subdistrict, the surrounding architecture, and the architecture of the building.
(Ord. 2006-67, Added, 09/26/2006)
DOWNTOWN LAWTON OVERLAY
DISTRICT DESIGN POLICY
APPENDIX
Exhibit A - Bicycle Racks
Bicycle Racks. Bicycle racks should be provided within commercial streetscapes to encourage bicycle use, to reduce vehicular traffic, and to promote a healthier lifestyle.
1.
Bicycle racks shall be placed in the parking lots located in the rear of the building.
2.
At no time shall the placement of the bicycle racks violate the dimensions of an accessible route as described in the Americans with Disabilities Act.
3.
Bicycle racks shall not be located so that when the racks are full of bicycles, they will obstruct the view of drivers.
4.
Select racks that are permanently mounted structures, designed in a simple style, and easy to use. The rack must allow both the frame and at least one wheel to be locked. Racks that allow for the locking of only one wheel are not acceptable.
5.
Place bicycle racks where they are near entrances of gathering places. Avoid placement that creates a tripping hazard. If possible, place the racks where the parked bicycles will be visible from inside the adjacent building. Ideally, bicycle parking should be more convenient than automobile parking.
6.
Bicycle racks shall be in the shape of an "arch" or "upside-down U".
7.
The two (2) rack pipes shall be mounted in-ground.
8.
The finish of the racks shall be powder-coated, or approved equal.
9.
The racks shall be constructed of a minimum pipe size of sch. 40.
10.
Pipe shall be two-inches (2″) in diameter.
11.
The vertical distance from the top of the pavement to the top of the arch shall be between thirty-four inches (34″) and thirty-six (36″).
12.
The horizontal distance from the pipes, where there are mounted, center of pipe to center of pipe, shall be between seventeen inches (17″) and twenty-four inches (24″).
13.
Bicycle racks shall be installed so that they are all facing the same direction.
14.
The spacing of the racks shall be a minimum of thirty-six inches (36″), center of pipe to center of pipe.
15.
The minimum distance of a bicycle rack shall be installed from the side to a building or other boundary shall be eighteen inches (18″).
16.
The minimum distance of a bicycle rack shall be installed from the center of either pipe forward or back to the nearest building or boundary shall be thirty inches (30″).
17.
Every group of bicycle racks shall be the same model.
Exhibit B - Bollards
1.
Bollards are generally used to create a low barrier that separates auto and pedestrian traffic, highlight and protect a special feature, or direct circulation patterns.
2.
Select a bollard that is architecturally and aesthetically appropriate to the area and other streetscape elements. Bollards can be used to provide low-level lighting to pedestrian paths.
3.
The design of the bollards shall compliment the architectural style of the streetscape and should be aesthetically pleasing in their appearance and placement in the space.
4.
Bollards shall be between twenty-eight inches (28″) and forty-two inches (42″) high.
5.
Bollards should be set two and one-half feet (2 ½′) minimum clearance from the curb face.
6.
Clearance between bollards or between a bollard and any other structure or pole must be at least thirty-six inches (36″). Clearance must be at least sixty inches (60″) where there is clearly a primary path.
7.
Bollards may be chained or cabled together if provided with attachments as an integral part of the design.
8.
Standard pipe filled with concrete is not acceptable in pedestrian locations.
9.
Bollards shall be constructed of cast iron, ductile iron, or approved equal.
10.
Utilize removable bollards where service vehicles need periodic access.
11.
At no time shall the placement of the bollards violate the dimensions of an accessible route as described in the Americans with Disabilities Act.
12.
The finish of the bollards shall be powdercoated steel, Phillips Acrycote or approved equal.
Exhibit C - Newspaper Distribution Units
1.
The preferred method of newspaper distribution shall be in a newspaper cabinet, as shown in the list of approved street furnishings. The style/color of such a newspaper cabinet must be approved by the ARC before installation.
2.
If a newspaper cabinet is not used, then an approved newspaper rack shall be used. The racks should be clustered together wherever possible. Screening shall also be considered to minimize views of the racks from the street.
3.
Newspaper distribution units shall serve the public without compromising pedestrian circulation and the appearance of the street.
4.
The design and color of the newspaper distribution unit shall compliment the architectural style of the streetscape and shall be aesthetically pleasing in their appearance and placement in the space.
5.
Newspaper distribution units shall be placed at least two and one-half feet (2 ½″) from the curb face making sure that there is adequate width on the sidewalk between racks and adjacent buildings. If possible, distribution units shall be placed against the building wall, leaving the rest of the sidewalk clear for pedestrians. At no time shall the placement of the distribution units violate the dimensions of an accessible route as described in Americans with Disabilities Act.
6.
Newspaper distribution units should be placed as close as possible to pedestrian activity nodes. They shall not be located where they will obstruct the view of the drivers at intersections or block views of business displays or signs.
Exhibit D - Seating
Seating. Seating may be provided when space allows for a clear pedestrian walking zone and separate seating areas. Seating expands opportunities for people to use the street, especially in commercial streetscapes. Seating may be provided by benches, planter walls, edges, steps or moveable chairs.
1.
The design of seating elements shall compliment the architectural style of the streetscape and should be aesthetically pleasing in their appearance and placement in the space.
2.
All benches shall have a seat height at the front edge of seventeen inches (17″) minimum and nineteen inches (19″) maximum above the ground or floor space.
3.
No seating elements shall be located where they will obstruct the view of drivers.
4.
At no time shall the placement of seating violate the dimensions of an accessible route as described in the Americans with Disabilities Act.
5.
Walls and ledges that are available for seating shall be between twelve inches (12″) and twenty inches (20″ high and sixteen inches (16″) wide wherever possible. Walls used for seating on both sides shall be a minimum of thirty inches (30″) wide.
6.
Seating shall be durable and comfortable. Avoid sharp edges and poorly designed or fabricated furniture. Metal is the preferred material.
7.
Benches shall be constructed of steel, cast iron, or approved equal.
8.
Except for moveable chairs, seating shall be secured permanently to paved surfaces for safety and to avoid vandalism.
9.
Seating shall not interfere with plant materials or pedestrian circulation and shall be placed for psychological comfort.
10.
Comfortable seating shall provide a sense of having protection from behind and something interesting to look at such as shop fronts or other pedestrians.
11.
Seating adjacent to where bicycling is permitted on sidewalks or other bike paths must have a minimum three-foot (3′) clearance from the bicycle path. These areas should not be provided on the street where possible.
Exhibit E - Trash Receptacles
1.
The design of the trash receptacles shall compliment the architectural style of the streetscape and should be aesthetically pleasing in their appearance and placement in the space.
2.
Trash receptacles shall be easily accessible for pedestrians and trash collection. Their design should relate to other site furnishings as well as building architecture. They must be carefully placed to be unobtrusive yet effective. On paths where bicycling is permitted, maintain a three foot (3′) setback from the edge of the bike path.
3.
Trash receptacles shall be designed to fit anticipated use and frequency of maintenance. They should be firmly attached to paving to avoid vandalism. Covered tops and sealed bottoms should be included to keep the contents dry and out of sight at all times.
4.
Trash receptacles shall be designed in two pieces. The inner container should ensure easy trash pickup and removal and an outer shell should blend aesthetically with the other streetscape elements. They should be conveniently placed near benches, bus stops, and other activity nodes, and arranged with other streetscape elements into functional compositions. They should not be placed directly adjacent to benches.
5.
At no time shall the placement of the trash receptacles violate the dimensions of an accessible route as described in the Americans with Disabilities Act.
6.
Trash receptacles shall be constructed of steel.
7.
The finish of the trash receptacles shall be powder-coated, or approved equal.
8.
Trash receptacles shall not be located where they will obstruct the view of drivers.
Exhibit F - Kiosks
1.
Kiosks are intended to serve as informational points, to direct pedestrian traffic, and to organize outdoor spaces. They should be used sparingly and only when needed to impart community information.
2.
Kiosks should be carefully positioned in conjunction with other elements of street furniture such as benches, lighting, and landscaping. They should be focal points in open areas, and may be combined with other elements like business directories, telephones, mailboxes and newspaper racks. The design should be compatible with and complementary to the surrounding architecture and other furnishings.
3.
Kiosks should facilitate the posting of notices and their removal and cleaning.
4.
Kiosks should be easily accessible from all sides and adequately illuminated.
5.
Kiosks should be designed so they are easy to maintain.
Exhibit G - Public Art
1.
Public art should capture and reinforce the unique character of a place. It can interpret the community by revealing its culture, history, or fantasy. Art that invites participation and interaction and that adds local meaning is preferred.
2.
Art should add beauty and interest. It may feature humor, water, seating, and opportunities for children to play. The setting for public art is significant to the experience of the art itself. The place's impact on the art may be as great as the art's impact on the place. The two together enrich the place and make it memorable.
3.
When considering placement of freestanding pieces of art or sculpture, avoid locations where it would compete with a storefront or obstruct a pedestrian path, create a traffic hazard, or compete with another sculpture.
4.
Murals of art (no advertising) may be used to enliven otherwise blank walls.
5.
Construct public art using durable materials and finishes such as stone or metal.
(Ord. 2006-67, Added, 09/26/2006)
FIGURE 1
DRIVEWAY REQUIREMENTS FOR ALL USES
All one-lane egress and ingress driveways for all uses except for one- and two-family residential uses shall be greater than fifteen (15) feet but less than twenty (20) feet wide, with the combined width not to exceed the maximum listed above.
1 Minimums and maximums apply to each driveway measured at the property line with the exception of 1 & 2 family dwellings having frontage of 61′ to 300′. The maximum curb opening widths indicated shall be the maximum combined widths of each curb opening for these frontages.
2 For all uses which primarily serve or are served by vehicles requiring larger than normal turn radii or access, such as tractor trailer vehicles, and such use is located in an industrial zoning district classification or for public fire and police responder facilities located in a Public Facilities District the city planner may administratively approve a request for extended curb opening widths. Extended curb opening widths for an industrial zoning district classification use shall not exceed fifty (50) feet. The applicant for such an extended curb opening must be able to adequately demonstrate the need for an extended opening to receive approval.
(Memo. of 8-18-2016)
(Memo. of 8-18-2016)
(Memo. of 8-18-2016)
(Memo. of 8-18-2016)
(Memo. of 8-18-2016)
(Memo. of 8-18-2016)
(Memo. of 8-18-2016)
(Memo. of 8-18-2016)
(Memo. of 8-18-2016)
(Memo. of 8-18-2016)
(Memo. of 8-18-2016)
(Memo. of 8-18-2016)
(Memo. of 8-18-2016)
12 - DOWNTOWN LAWTON OVERLAY DISTRICT
The Downtown Lawton Overlay District establishes development standards for property located in the area described in Section 18-12-1-1202. The overlay district development standards include site and architectural design, building materials, setbacks, parking, landscaping, lighting, and signage.
(Ord. 2006-67, Add, 09/26/2006)
A.
The Downtown Lawton Overlay District shall apply to the following areas:
1.
The area bounded by the north right-of-way line of Ferris Avenue, the north right-of-way line of Gore Boulevard, the west right-of-way line of 4th Street; and the east right-of-way line of Railroad Street; and
2.
The area bounded by the north right-of-way line of Gore Boulevard, the south right-of-way line of SW C Avenue, the west right-of-way line of 7th Street, and the east right-of-way line of Railroad Street.
B.
The boundaries of Downtown Lawton Overlay District and the sub-districts are shown on Figures 16, 17, and 18 of this chapter.
(Ord. 2006-67, Added, 09/26/2006)
All submittals and applications for building permits and architectural conformance will be made to the building official in conformance with the regulations of the overlay district and the Downtown Lawton Overlay Design Policy. The building official will be responsible for reviewing and processing the building permit application. The site plan, including the landscaping plan, will be reviewed by the director of planning. The Lawton Urban Renewal Authority shall serve as the Architectural Review Committee (ARC) for issuance of the Certificate of Architectural Conformance for all projects within the Downtown Lawton Overlay District. Submittals for architectural compliance shall include, as a minimum; color drawings of architectural elevations of the front, rear, and sides of the proposed structure, including partial elevations of any adjacent structures within twenty-five feet (25′); samples of all building materials to be used on the exterior treatment of the structure; signs; and a written description of how the new structure blends with both the nearby and extended downtown area. The ARC may retain a consultant at its discretion to aid in review of submitted materials. The fee for said review for architectural compliance is set forth in Appendix A, Schedule of Fees and Charges, of this code.
(2006-67, Added, 09/26/2006)
A.
The Downtown Lawton Overlay District includes the following sub-districts:
1.
Mixed Use Overlay District
a.
2nd Street Corridor Overlay District
b.
C Avenue Corridor Overlay District
2.
Commercial Central Overlay District
3.
Medium Intensity Residential Overlay District
4.
Public Overlay District
Regulations specific to a particular overlay sub-district are set out elsewhere in this article.
(Ord. 2006-67, Added, 09/26/2006)
A.
A minimum of fifty-one percent (51%) of the building material shall be clay fired brick other than in the 2nd Street Corridor Overlay District.
B.
In sub-districts without specific building materials requirements, architectural materials defined in this section may be used on a portion of the structure not to exceed forty-nine percent (49%) subject to review and approval of the ARC. Window and door areas shall be included in the calculation necessary to determine the allowable other material portion of building material requirement.
C.
Architectural materials for buildings regulated by this section of the code shall be selected from the following list:
1.
Terra cotta;
2.
Stucco;
3.
Rock/stone;
4.
Clay-fired masonry units;
5.
Other materials as approved by the ARC.
(Ord. 2006-67, Added, 09/26/2006)
A.
No building shall exceed fifty-four feet (54′) in height except as otherwise provided in the sub-districts.
Multiple Use Parking
B.
Chimneys, elevators, poles, spires, tanks, towers, and other projections not used for human occupancy may extend above the height limit not to exceed twenty-five percent (25%) of the building height.
(Ord. 2006-67, Added, 09/26/2006)
There are no front yards, side yard, or rear yard setbacks except as otherwise provided in the sub-districts.
(Ord. 2006-67, Added, 09/26/2006)
(Ord. 2006-67, Added, 09/26/2006)
A.
Parking Lots
1.
All surface parking lots shall meet the requirements of Article 8 of this chapter except as provided in Section 18-12-2-1233 of this article. In accordance with Article 8 of this chapter, there is no requirement for off-street parking for property located in the downtown area as defined in Section 18-1-1-106; however, if off-street parking is provided, it shall meet the requirements of Article 8 of this chapter.
2.
Bicycle racks are not required to be included in off-street parking areas; however, for parking lots with a minimum of sixteen (16) spaces, a reduction of one parking space for every two (2) bicycle spaces up to a maximum of three percent (3%) of the total parking requirement will be allowed.
3.
Shared parking is allowable to reduce the total number of parking spaces within the development and to capitalize on off-peak parking synergies (See Multiple Use Parking Table).
a.
The numbers at the intersection of the listed uses indicate the percentage required for the total combined use requirements. (For example, proximity permits combining a residential requirement for fifty (50) spaces with an office-banking requirement for sixty (60) spaces. The combined requirement is for sixty-six (66) spaces, that is sixty percent (60%) of the sum of 50 + 60.)
b.
In cases of multiple use involving more than two facilities, the requirements shall be computed by pairing the facilities involved. Should there be an odd number, that facility shall be computed as one hundred percent (100%) of its respective requirement. Facilities applied to the matrix shall be in close proximity but not separated by natural barriers.
c.
When using the multiple use matrix, the off-street parking spaces must be located in accordance with Section 18-8-1-802 of this code.
(Ord. 2006-67, Added, 09/26/2006)
A.
Landscape Plans. A landscape plan, separate and apart from other required plans, shall be submitted and made a part of the file at the time of submission for a building permit. No landscape plans are required for single-family residential developments. For property located within the Downtown Lawton Overlay District that falls within the downtown area as defined in Section 18-1-106 of this chapter, payment of a fee in lieu of landscaping shall be submitted based on the number of points required by this article if landscaping is not to be installed. The funds will be used by the city to beautify the rights-of-way in the downtown area. The fees are set out in Appendix A, Schedule of Fees and Charges, of this code.
B.
All landscape plans shall include the information set out in Section 4 of the Downtown Lawton Overlay Design Policy.
C.
Definitions. As used in this article, the following terms shall have the meanings given:
1.
Berm means an earthen mound designed to provide visual interest, screen undesirable views and/or decrease noise.
2.
Caliper means the diameter of a tree trunk less than twelve inches (12″) in diameter. For trees less than four inches in diameter, it is measured six inches from the ground. For trees between four inches (4″) and twelve inches (12″) in diameter, it is measured twelve inches (12″) from the ground.
3.
Developed area means the area of a lot that is disturbed for the purpose of developing structures, parking facilities, loading or storage areas, paved access to off-street parking or loading areas or other areas paved with an all-weather material, or landscaped areas.
4.
Evergreen means a plant with foliage that persists and remains green year round.
5.
Groundcover means an evergreen or deciduous planting less than twenty-four inches (24″) in height, excluding turf grass.
6.
Landscape plan means graphic and written criteria, specifications, and detailed plans to arrange and modify the effects of natural and manmade features such as plantings, ground and water forms, circulation, walks, structures, and other features to comply with the provisions of this ordinance.
7.
Landscaped area means any area that contains trees, shrubs, and/or groundcover that have been claimed for point credits.
8.
Significant tree means any existing tree with a caliper of six inches (6″) or greater that is determined to be in good health.
9.
Shrub means a living self-supporting woody deciduous or evergreen species no less than eight inches (8″) in height and no greater than fifteen feet (15′) in height, which will remain full and attractive throughout the year.
10.
Tree means a living self-supporting woody or evergreen plant that normally grows to a minimum height of fifteen feet (15′) and which has one or several self-supporting stems or trunks and numerous branches.
11.
Turf grass means existing or installed grass that has been sodded, seeded, or hydro-mulched. Turf grass eligible for point credits must be located within the property lines of a development. The maximum credit for turf is twenty-five percent (25%) of the total landscape points required for any site. All turf credited for points shall completely cover all exposed areas of soil after one full growing season.
D.
Landscape Point System
1.
Planting Requirements
a.
The developer may use any combination of plantings to obtain the necessary number of points required for the development. Different lots and landscapes will lend themselves to different types of plantings. These regulations attempt to encourage creativity and diversity in landscaping.
b.
Landscaping within any developed area must equal or exceed a minimum number of points in order to obtain approval. Site points are determined by the size of the developed area, and parking lot points are determined by the number of parking spaces. For the purpose of calculating landscape points, the developed area may be submitted in the form of the legal description of the property or a scaled, dimensioned and well-defined area of development that is referenced on the site plan.
c.
Number of Points Required for the Developed Area
d.
When only a portion of a large tract is developed (e.g. one acre of a ten (10) acre tract), only the developed area shall be considered when determining the number of points required.
2.
Point System
Different types of plantings shall be worth different point values as shown in Point Values of Plantings Table.
3.
A minimum of sixty percent (60%) of required points shall be used for landscaping in the front and side yards.
4.
A minimum of twenty-five percent (25%) of required points may be used for evergreen plantings.
5.
A maximum of twenty-five percent (25%) of required points may be used for turf grass.
E.
Landscaping Requirements
1.
Single-family residential is exempt from landscaping requirements. For all other uses, the following requirements must be met:
a.
All required front, side and rear yards shall be landscaped, except walkways, parking, pertinent equipment, drainage utilities, and other accessory structures permitted by this chapter. The landscaping of these yards shall consist of a combination of living vegetation, such as trees, shrubs, grasses or ground cover materials, planted or transplanted and maintained, or preserved as existing natural vegetation areas.
b.
All trees and shrubs shall be planted, maintained, or transplanted in accordance with the recommended guidelines set out in the Downtown Lawton Overlay Design Policy. All newly planted trees and shrubs shall be mulched and maintained to give a clean and weed-free appearance.
F.
Parking Lot Landscape Requirements
1.
All non-covered, street-level parking facilities shall be landscaped in accordance with the following requirements:
a.
In addition to the number of site points required, two (2) additional points shall be added to the site for each required parking space. Any proposed parking space in excess of the number of required spaces shall require one additional point of landscaping. Parking lot landscape requirements shall be located:
1)
Around the perimeter of the lot, and/or
2)
Within parking lot islands, and/or landscaped areas within the developed parking lot.
2.
Exceptions. The requirements of this subsection shall not apply to:
a.
Parking garages or parking decks.
b.
Display areas for new automobiles, trucks, camping trailers, boats and marine sales.
G.
Existing Tree Credits. In order to encourage the preservation of Lawton's older trees, credits toward required points may be given in the event existing trees are preserved. Tree credits shall be approved by the director of planning.
1.
Landscape points shall be applied for each existing significant tree of the following sizes:
2.
Trees for which an owner/developer wishes to receive credit must be in the developed area; however, no more than twenty-five percent (25%) of the total points may be located within the public rights-of-way.
3.
Any significant tree claimed for points that dies during construction, or as a result of construction, shall be replaced with a tree (or trees) to equal or exceed the point of value of the lost tree.
H.
Completion Requirement. A certificate of landscaping compliance, for any use, shall not be issued until the required landscaping has been installed in accordance with the landscape plan or fee in lieu of landscaping has been paid; provided, however, if a structure and all site improvements are complete except for the required landscaping, temporary occupancy may be permitted for a period of six (6) months.
I.
Irrigation. The developer shall be required to install an irrigation system to all required landscape areas to insure that sufficient water is delivered to plant materials.
J.
Maintenance. Maintenance of the installed landscaping shall be the responsibility of the property owner. If landscaping is not properly maintained, the city shall be authorized to abate it as a public nuisance and the owner of the property shall be required to reinstall any removed landscaping consistent with the original landscaping plan.
(Ord. 2006-67, Added, 09/26/2006)
Sidewalks shall be constructed with each new building or the remodeling of existing buildings and shall be in accordance with the City of Lawton's standard details prepared by the City Engineer. However, when connecting to an existing sidewalk, the sidewalk must continue the same width of the existing sidewalk with a minimum width of four feet (4′).
(Ord. 2006-67, Added, 09/26/2006)
If decorative paving is used for crosswalks, it shall conform to the crosswalks installed on 2nd Street as part of the 2nd Street Enhancement Project. (See specifications in the 2nd Street Enhancement Project)
(Ord. 2006-67, Added, 09/26/2006)
A.
A sight-proof fence on the front property line and/or side property line and/or side property line(s) abutting a street may be erected, provided a five (5) foot wide landscape buffer shall be required on the outside of the fence.
B.
Sight-proof screening may be credited with two (2) landscape points per every twenty (20) linear feet if constructed of upgraded building materials, such as masonry (limited to brick, split-face concrete block, stone or cultured stone), decorative pre-cast concrete fence systems, or decorative iron.
(Ord. 2006-67, Added, 09/26/2006)
Fencing shall be permissible as approved by the ARC in conformance with the Downtown Lawton Overlay Design Policy. Security fencing shall not exceed a height of six feet (6′). When located on a property across any street from residential, office, and commercial zoned districts, a five (5) foot wide landscape buffer located on the outside of the fence shall be required.
(Ord. 2006-67, Added, 09/26/2006)
A.
Street Lighting. All proposed light poles, fixtures, and accessories shall be approved by the ARC.
B.
Parking Lot Lighting.
1.
Lighting for parking lots for nonresidential uses shall have a minimum of two foot candles (2 f.c.) and a maximum of five foot candles (5 f.c.).
2.
Lighting for parking lots for multi-family residential uses shall have a minimum of one foot candle (1 f.c.) and a maximum of three foot candles (3 f.c.). Parking lots for multi-family residential with less than six (6) total parking spaces do not require lighting; however, if provided, lighting shall meet these regulations.
C.
Seasonal lighting may be allowed with a special permit approved by the director of planning for a time period not to exceed sixty (60) days.
(Ord. 2006-67, Added, 09/26/2006)
A.
Signs shall meet the regulations of Article 9 of this chapter, any specific requirements listed on this section, and shall be approved by the ARC. See the Downtown Lawton Overlay Design Policy for design requirements for signage.
B.
Permitted Signs
1.
Building mounted signs placed on the front of buildings, parallel to the street.
2.
Monument signs not to exceed twelve feet (12′) in height.
3.
One pole sign may be permitted on a tract containing a building greater than forty thousand square feet (40,000 sf) of gross floor area.
4.
Other signs may be permitted, except those signs listed below, subject to approval of the ARC.
5.
The following signs are expressly prohibited in the Downtown Lawton Overlay District:
a.
Off-premise signs (billboards);
b.
Roof signs;
c.
Neon signs on exterior of buildings; and
d.
Portable signs.
C.
All submitted building elevations shall show proposed signage and environmental graphics.
D.
Canopies shall display the name of the business only and shall not include illumination, i.e. string lighting.
(Ord. 2006-67, Added, 09/26/2006)
A.
Uses, buildings, and lots existing as of the effective date of this ordinance, and any amendments thereto, are regulated by this section. The provisions of this section supersede the provisions of Article 7 of this chapter.
1.
Nonconforming Uses of Land. The lawful use of land existing as of the effective date of this ordinance or any amendments thereto, even though such use does not conform to the provisions hereof, may continue subject to the following provisions:
a.
If there are no buildings or structures upon the property, said use shall be discontinued within five years from the effective date of this ordinance or at the effective date of the possible future amendments.
b.
A nonconforming use shall not be expanded or moved in whole or in part to any other portion of the lot or parcel on which it is located.
2.
Nonconforming Uses of Buildings. If a lawful use, involving individual buildings existing on the effective date of this ordinance, or at the effective date of the possible future amendments, becomes nonconforming, said use may continue, subject to the following provisions:
a.
Change of Nonconforming Use. A building use may be changed to another nonconforming use of an equal or more restrictive classification or to a conforming use. A building permit is required for any structural changes.
b.
Effect of Discontinuance. In the even that a nonconforming use of any building or premises is discontinued for a period of two (2) years, the use of the building or premises shall thereafter conform to the use regulations of the land use district in this article.
c.
Expansion of Nonconforming Use. No nonconforming use shall be enlarged, extended, or reconstructed unless such change is to a use permitted in the land use district in this article.
d.
Restoration of Destroyed Use. When a structure occupied by a nonconforming use is destroyed by fire, explosion, natural cause, or public enemy by more than fifty percent (50%) of its replacement value, restoration of the structure shall be subject to the application requirements of Section 18-12-1-1203 of this article, provided that the restored building may only be occupied by the nonconforming use which was destroyed or by a conforming use.
e.
Modernization Permitted. Improvements or remodeling which do not increase the size or intensity of use shall be permitted.
3.
Nonconforming Buildings and Structures. Although a building or structure does not conform to the applicable district regulations or possible future amendments, a lawful existence of the building or structure on the effective date of this ordinance, or at the effective date of the possible future amendments, may continue subject to the following provisions:
a.
Effect of Discontinuance. In the event that a nonconforming building or structure is not used for a period of two (2) years, the building or structure shall thereafter conform to the regulations of the land use district.
b.
Expansion of Nonconforming Building or Structure Prohibited. No nonconforming building, except when required by law, shall be enlarged, extended, reconstructed, or structurally altered unless the building and use comply with all of the regulations of this code.
c.
Relocation of Building or Structure. No nonconforming building or structure shall be moved in whole or in part to another location on the lot unless every portion of the building or structure is made to conform to all of the regulations of this code.
d.
Restoration of Destroyed Building or Structure. When a nonconforming building or structure is destroyed by fire, explosion, natural causes, or public enemy by more than fifty percent (50%) of its replacement value, the restoration of the building or structure shall be subject to the application requirements of Section 18-12-1-1203 of this article, provided that the restored building or structure may only be occupied by a conforming use.
e.
Modernization Permitted. Improvement or remodeling which does not increase the building size or size and intensity of use shall be permitted.
(Ord. 2006-67, Added, 09/26/2006)
A.
Any person aggrieved by a decision of the ARC, the building official, or the director of planning, regarding the issuance of a certificate of architectural conformance for property within the Downtown Lawton overlay district, may file an appeal to the city planning commission within ten (10) calendar days of the notification of the decision.
B.
The applicant shall pay the fee as set forth in Appendix A, Schedule of Fees and Charges.
C.
The appeal shall be placed on the city planning commission agenda within thirty (30) calendar days from the date of the decision of the ARC.
D.
Notice will be sent to the interested parties.
(Ord. 2006-67, Added, 09/26/2006; Ord. No. 20-26, § 2, 11-24-2020)
It is expressly provided that in all cases of conflict between the provisions of this article and other provisions of the city code, the provisions of this article shall control. All other code provisions not in conflict with any section of this article shall continue to apply.
(Ord. 2006-67, Added, 09/26/2006)
Any person or association of persons who violates any provision of this code or fails to comply with any provision of this code is guilty of a misdemeanor and upon conviction thereof shall be punished as provided in Section 1-119 of this code for each twenty-four (24) hour period that such violation exists. In addition to all other remedies for the enforcement of this code and its provisions, the city may institute any proper action in a court of competent jurisdiction to prevent, enjoin, restrain, abate or otherwise correct any violations of this code.
(Ord. 2006-67, Added, 09/26/2006)
No occupancy of any building shall be allowed unless the construction is in accordance with the site plan and landscape plan approved by director of planning and the building has been issued a Certificate of Architectural Conformance by the ARC and a certificate of occupancy issued by the building official.
(Ord. 2006-67, Added, 09/26/2006)
The ARC is authorized to make minor administrative and technical changes or additions in the Downtown Lawton Overlay Design Policy as may be necessary or proper; however, any modification to the concept or form of the Downtown Lawton Overlay Design Policy shall not be made without approval of the city council after receipt of a recommendation from the planning commission.
(Ord. 2006-67, Added, 09/26/2006)
This district allows for a wide range of compatible residential, retail and office uses which shall define the central theme of downtown redevelopment of living and working in the urban environment. The district shall offer a variety of housing complemented by entertainment establishments, restaurants, service providers and sales for personal needs.
(Ord. 2006-67, Added, 09/26/2006)
Beginning at the northeast corner of Lot 1, Block 8 Original Town Site; thence east along south right-of-way line of Gore Boulevard to the northeast corner of Lot 5 Block 2; thence south to the northeast corner of Lot 9, Block 43; thence west to the northeast corner of Lot 1, Block 37; thence north along the west right-of-way line of SW 7th Street to the point-of-beginning.
AND
Beginning at the northeast corner of Lot 1, Block 65, North Addition; thence south to the southeast corner of Lot 16, Block 65; thence west to the southeast corner of Lot 16, Block 62; thence north to a point ten (10) feet north of the northeast corner of Lot 16, Block 62; thence east to a point ten (10) feet north of the northeast corner of Lot 13, Block 63; thence north to the northwest corner of Lot 3, Block 41; thence continuing north fifty (50) feet; thence east to centerline of NW 3rd Street; thence north to centerline of Dearborn Avenue; thence west to a point fifty (50) feet south of the southwest corner of Lot 14, Block 19; thence north to the north right-of-way line of Ferris Avenue; thence east to a point due north of the northeast corner of Lot 5, Block 2, thence south to the northwest corner of Lot 4, Block 65; thence east along the south right-of-way line of NW Arlington to point of beginning.
(Ord. 2006-67, Added, 09/26/2006; Ord. No. 14-24, § 1, 8-12-2014)
A.
The following uses are permitted in the Mixed-Use District:
1.
Single-family residential.
2.
Two-family residential.
3.
Three-and four-family residential.
4.
Multiple-family residential.
5.
Administrative and Professional Office. Offices of firms or organizations providing professional and executive management or administrative services. Typical uses include advertising agencies, law offices, real estate offices, architectural and engineering offices, financial institutions, and corporate offices.
6.
Animal Sales and Services, Kennels and Veterinary: Restricted. Kennel and veterinary services for small domestic animals such as dogs, cats, or other household pets, with all operations and storage conducted within an enclosed building. Typical uses include animal or veterinary hospitals, boarding and breeding kennels, pet motels, and animal training centers.
7.
Automotive, new car dealership provided no repairs occur outside the confines of the building.
8.
Automotive equipment sales provided no outside display or storage of parts.
9.
Automotive repair provided no repairs, paint or body work occur outside the confines of the building.
10.
Building Maintenance Services. Establishments or places of business primarily engaged in the sale, rental, or repair of equipment and supplies used by office, professional, and service establishments primarily to other firms, rather than to individuals, but excluding automotive, construction, and farm equipment. Typical uses include office equipment and supply firms; janitorial services; disinfecting and exterminating services; and vending machine sales and services.
11.
Business Support Services. Establishments primarily engaged in the provision of services of a clerical, employment, protective, or minor processing nature to firms, rather than individuals, and where the storage of goods or equipment other than as samples or as necessary for daily operation is prohibited. Typical uses include secretarial services; telephone answering services; blueprint services; and reproduction services.
12.
Communications Services: Limited. Establishments primarily engaged in the provision of public information, broadcasting and other information relay services accomplished through the use of printed, electronic, and telephone mechanisms but excluding those classified as major impact services and utilities. Typical uses include newspaper publication, television/radio studios, and telecommunication service centers.
13.
Community Recreation: Restricted. Recreational, social, and multipurpose uses that operate during daylight hours and generally are available for public use. Typical uses include golf courses with accessory clubhouses and buildings; and unlighted swim centers, tennis courts, playgrounds, playfields, and public parks.
14.
Community Recreation: General. Recreational, social, or multipurpose open or enclosed uses and accessory buildings which have no fixed seats and occupancy limited to five hundred (500) persons. Typical uses include golf courses, clubhouses, swim centers, tennis centers, playgrounds, playfields, marinas, boat docks, country clubs, and public parks.
15.
Convenience Sales and Personal Services. Establishments or places primarily engaged in the provision of frequently needed, day-to-day retail commercial goods and services. Such uses are designed and intended to serve a limited local market and to be generally within a short walking or short driving distance of a residential area. Furthermore, only uses that do not create increased traffic, noise, or such other impacts considered incompatible with a residential use will be permitted. Typical uses include small grocery stores whose ground floor is less than ten thousand (10,000) square feet in size; drugstores; medical marijuana dispensaries licensed by the State of Oklahoma; candy stores; ice cream parlors; dry cleaning establishments; barbershops; shoe repair shops; self-service laundries; and newsstands.
16.
Cultural Exhibits. Museum-like preservation and exhibition of objects of artistic, cultural, scientific interest, and gallery exhibition of works of art for study and pleasure. Typical uses include aquariums; art galleries; museums; planetariums; and observatories.
17.
Custom Manufacturing. Establishments primarily engaged in the on-site production of goods by hand manufacturing which involves only the use of hand tools or small mechanical equipment not exceeding two (2) horsepower or a single kiln not exceeding eight (8) kilowatts and the incidental direct sale to consumers of only those goods produced on-site. Typical uses include ceramic studios, candle-making shops, or custom jewelry manufacturers.
18.
Day Care Center. Licensed facility providing care and supervision for eight (8) or more children and operating more than thirty (30) hours per week. This does not include informal arrangements which parents make with neighbors, friends, and others or caretakers in the child's own home.
19.
Eating Establishments: Sit-down, Alcohol Not Permitted. Establishments or places of business where customers are seated and served and that are primarily engaged in the sale of prepared foods and beverages for on-premises consumption. They are located at high capacity/high volume sites that are easily accessed by vehicles and pedestrians. Typical uses include restaurants, short-order eating places, cafeterias, and coffee shops where alcoholic beverages are not served or sold.
20.
Eating Establishment: Sit-down, Limited Alcohol Permitted. Establishments or places of business where customers are seated and served and are engaged in the sale, mixing, or dispensing of alcoholic beverages for on-premises or off-premises consumption as accessory to a restaurant operation. Typical uses include restaurants and short-order eating places, serving beer and wine. Annual receipts from the sale of permitted beverages containing alcohol may not exceed 50 percent (50%) of the total receipts.
21.
Eating Establishments: Sit-down, Alcohol Permitted. Establishments or places of business where customers are seated and served and are engaged in the sale, mixing, or dispensing of alcoholic beverages for on-premises or off-premises consumption as accessory to a restaurant operation. Typical uses include restaurants and short-order eating places. Annual receipts from the sale of permitted beverages containing alcohol may not exceed 50 percent (50%) of the total receipts.
22.
Eating Establishments: Fast Foods. Establishments or places of business primarily engaged in the sale of prepared food and beverages for both on- and off-premises consumption. These uses are normally adjacent to high volume pedestrian and/or vehicular movement areas and are characterized by prepackaged and pre-cooked foods and by a central ordering and serving point within the establishment. Typical uses include restaurants.
23.
Eating Establishments: Fast Food with Drive-Through Order Windows. Establishments or places of business primarily engaged in the sale of prepared food and beverages for both on- and off-premises consumption. The facilities have drive-through windows that allow patrons to pick up food orders from their vehicles and encourage off-premises consumption.
24.
Eating Establishments: Drive-in. Establishments or places of business with little or no inside seating where prepared food and beverages are consumed within a motor vehicle on the premises or are carried outside by the purchaser to tables. These uses are normally adjacent to high volume vehicular movement areas and are characterized by either remote order of food from within the vehicle and delivery by attendants or by carrying packages for consumption on or off the premises.
25.
Family day care home. Licensed family home which is operated by no more than one (1) wholly self-employed person residing at and inhabiting the dwelling providing care and protection for seven (7) or fewer children for part of the 24-hour day. This shall not include informal arrangements which parents make with neighbors, friends, and others or caretakers in the child's own home.
26.
Gasoline Sales: Restricted. Establishments or places of business primarily engaged in the on-site retail sale of petroleum products with incidental retailing. Typical uses include automobile service stations. Road service tow trucks are permitted but not the temporary or permanent parking or storage of damaged, wrecked, or inoperable vehicles.
27.
Laundry Services. Establishments primarily engaged in the provision of laundering, dry cleaning, or dyeing services other than those classified as Convenience Sales and Personal Services: General. Typical uses include laundry agencies; diaper services, or linen supply services.
28.
Library. Public facility for the use, but not sale, of literary, musical, artistic, or reference materials.
29.
Light Public Protection and Utility: General. Public services involving direct citizen contact as well as incidental storage and maintenance of necessary equipment or vehicles including public protection or essential utility services. Said services may have technical and locational requirements, necessitating proximity to the area served but should have a minor impact on surrounding uses. Typical uses include ambulance service, fire protection facilities, police substations, civil defense shelters and facilities.
30.
Limited Industrial. Establishments engaged in the manufacture, assembly, research, or processing of products and goods with all operations and processes entirely within an enclosed structure, requiring no outdoor industrial wastewater treatment system, producing no airborne emissions, objectionable noise, glare, odor, vibrations, smoke, or dust associated with the industrial operation. There is no outdoor storage of raw materials and products. Medical marijuana growing facilities and medical marijuana processing facilities are included as permitted uses when associated with a dispensary at the same location. Typical uses include, but are not limited to, bakery employing more than five (5) employees, book bindery, cabinet shop, clothing manufacturing, electronic equipment assembly and manufacturing, furniture upholstering, laundry and dry-cleaning plant employing more than five (5) employees, printing plant, engraving plant, instrument and meter manufacture, optical goods manufacture, prosthetics manufacture, and photographic equipment manufacture. The following other manufacturing uses which may also be considered appropriate, provided there is not outdoor storage of raw materials and products, include but need not be limited to bottling plant, pottery and figurine manufacturing, machine shop, and stone and monument works.
31.
Low Impact Institutional: Neighborhood Related. Public, quasi-public, or private activities of an educational or religious nature, which may have minor impact on surrounding uses and are occupied on an intermittent basis. Such uses are necessary to serve common functions within a residential area and are not designed to provide lodging, except churches may provide lodging. Typical uses include elementary schools and churches.
32.
Medical Services: Restricted. Establishments primarily engaged in the provision of personal health services including prevention, diagnosis and treatment or rehabilitation services provided by physicians, dentists, nurses, and other health personnel as well as the provision of medical testing and analysis services. Typical uses include medical offices, dental offices, dental laboratories, clinics, or health maintenance organizations but not including any sales facilities, hospitals, convalescent centers, or nursing homes.
33.
Medical Services: General. Establishments primarily engaged in the provision of personal health services and including related retail sales activities. Typical uses include medical offices, dental offices, dental laboratories, clinics, or health maintenance facilities with related sales facilities such as opticians or apothecaries in the same structure but not including hospitals, convalescent centers, or nursing homes.
34.
Participant Recreation and Entertainment: Indoor. Those participant recreation and entertainment uses conducted within an enclosed building. Typical uses include bowling alleys and billiard parlors, dance halls, gymnasiums, health clubs, skating rinks, and arcades. Any spectators would be incidental to the participant recreation activity.
35.
Personal Services: Restricted. Establishments primarily engaged in the provision of informational, instructional, and personal improvements and similar services which are able to be located in an office-type building. Typical uses include photography studios, travel agencies, automobile driving schools, reducing salons, dance and music academies, and classrooms for business schools. Lodge and meeting halls, including but not limited to a Masonic Lodge, V.F.W. Post and Shrine Temple shall also be allowed.
36.
Personal Services: General. Establishments primarily engaged in the provision of services to customers or clients which have one (1) or more of the following characteristics: high customer volume, hand-carried parcel delivery or mailing facilities, overnight parking for small service or delivery vehicles, or sale of non-mercantile items such as postage stamps or public event tickets. Typical uses include a post office, theater ticket office, or a utility company business office, and all activity takes place within a completely enclosed building.
37.
Repair Services, Consumer. Establishments primarily engaged in the provision of repair services to individuals and households rather than to firms. Typical uses include appliance repair; apparel repair; musical instrument repair; electrical repair; shoe repair; and jewelry repair shops.
38.
Research Service: Restricted. Administrative offices plus research facilities of a technical or scientific nature which are located within a completely enclosed building. There is no product manufacturing and no outside storage, display, or activity. Typical uses include electronics or medical research facilities including medical marijuana research facilities licensed by the State of Oklahoma, product testing laboratory, or a pharmaceutical laboratory.
39.
Retail Sales and Services: General. Establishments engaged in the sale or rental of goods and services, both retail and wholesale, of commonly used goods, merchandise, and services.
40.
Spectator Sports and Entertainment: Restricted. Establishments or places engaged in provision of cultural, entertainment, athletic, and other events to spectators as well as providing space for social or fraternal gatherings. These uses are conducted within an enclosed building with a capacity of five hundred (500) or less people and include retail sales and storage facilities that are incidental to the operation of such uses. Typical uses include small theaters or amusement places.
41.
Spectator Sports and Entertainment: General. Establishments or places engaged in the provision of cultural, entertainment, athletic, and other events to spectators as well as parking space for social or fraternal gatherings. These uses are conducted in open facilities or within an enclosed building with a capacity of more than five hundred (500) people and include retail sales, storage facilities, and other activities incidental to the operation. Typical uses include large theaters or amusement places.
42.
Taxi or Limousine Service. Business offering motor vehicle transportation for a fee or charge.
43.
Transient Accommodations: Lodging. Lodging services involving room accommodations for travelers, including food, drink, and other sales and services intended for the convenience of guests. Typical uses include hotels, motels, and transient boardinghouses.
44.
Transportation Facilities: Surface Passenger. Surface facilities which contribute to the movement of people on a local or cross-country basis. Typical uses include inter-city bus or railroad passenger terminals, multi-modal transportation stations and local mass transportation passenger stations.
45.
Uses which are similar in character to those enumerated above as determined by the planning commission, provided these uses are not more obnoxious or detrimental to the area in which it is located, by reason of noise, offensive odor, smoke, dust, vibration, traffic congestion or danger to life and property than those uses enumerated above.
46.
Uses Permitted on Review: Any use that is not similar in character to those enumerated above but is determined by the Lawton Urban Renewal Authority to be consistent with the objectives of the Urban Renewal Plan for that area, may be authorized as a use permitted on review as provided in Section 18-1-1-113 of this Municipal Code.
(Ord. 2006-67, Added, 09/26/2006; Ord. No. 22-19, § 1, 7-12-2022)
A.
2nd Street Corridor Overlay District
1.
Purpose. 2nd Street, north of C Avenue serves as an entry corridor to downtown Lawton. The following standards are intended to complement those land uses included in the Urban Renewal Plan and to accomplish the revitalization goals contained therein. They are intended to allow and encourage flexibility and innovation in developing projects within the 2nd Street Corridor Overlay District area. They are to be a tool for the City/ARC in reviewing renovation and development plans, as well as a tool for builders to understand the characteristics and intent of downtown development.
2.
Description of 2nd Street Corridor. The 2nd Street Corridor District is defined as that area extending one-half block easterly and one-half block westerly of 2nd Street, bounded by north right-of-way of SW C Avenue to the south and the south right-of-way of NW Ferris Avenue to the north.
3.
Supplemental Regulations. In addition to the General Provisions of the Downtown Lawton Overlay District the following provisions shall apply to the 2nd Street Corridor Overlay District:
a.
Building Materials. All buildings shall be clay fired brick or other material as approved by the ARC.
b.
Parking
1)
All parking lots fronting or otherwise adjacent to 2nd Street shall be set back a minimum of twenty feet (20′) from the property line, and a soft landscaping screen shall be utilized to buffer the area from the street, as well as bridge the disconnect between buildings. If a wall is built, it must be compatible with the adjacent architecture landscaping materials shall be those listed in the Downtown Lawton Overlay Design Policy.
2)
On-street parking and loading areas shall be prohibited in the 2nd Street Corridor.
3)
Off-Street parking and loading facilities shall be provided in accordance with Article 8 of this chapter. In the downtown area as defined in Section 18-1-1-106 of this chapter there shall be no requirement for off-street parking and loading facilities; however, if off-street parking and loading facilities are provided, the design standards of Article 8 shall be met.
c.
Drive Openings. Vehicular access to any lot shall not be directly from 2nd Street, except for those properties with existing access, which cannot be accessed from an abutting side street. Where properties are combined for redevelopment, access from side streets shall be provided.
d.
Street Furnishings. For continuity, only one type of bench and one type of trash receptacle shall be allowed in the 2nd Street Corridor. See the Downtown Lawton Overlay Design Policy for the type and manufacturer of bench and trash receptacle.
B.
C Avenue Corridor Overlay District
1.
Purpose. C Avenue from 2nd Street to 7th Street serves as the main street of downtown. The following standards are intended to complement those land uses included in the Downtown I Urban Renewal Plan and to accomplish the revitalization goals contained therein. They are intended to allow and encourage flexibility and innovation in developing projects within the C Avenue Corridor area. They are to be a tool for the City/ARC in reviewing renovation and development plans as well as a tool for builders to understand the characteristics and intent of downtown development.
2.
Description of C Avenue Corridor. Beginning at the northeast corner of Lot 24, Block 25, Original Townsite; thence south two-hundred and fifty (250) feet to the south right-of-way line of SW C Avenue; thence west to the northeast corner of Lot 1, Block 37; thence north along the west right-of-way line of SW 7th Street to the northeast corner of Lot 16, Block 30; thence east to the point of beginning.
3.
Special Regulations. In addition to the General Provisions of the Downtown Lawton Overlay District the following provisions shall apply to the C Avenue Corridor Overlay District:
a.
Parking
1)
Off-street parking and loading facilities are not required in the C Avenue Corridor; however, if off-street parking and loading facilities are provided, the design standards of Article 8 of this chapter shall be met.
2)
All parking lots fronting or otherwise adjacent to C Avenue shall be set back a minimum of twenty feet (20′) from the property line, and a soft landscaping screen shall be utilized to buffer the area from the street, as well as bridge the disconnect between buildings. If a wall is built, it must be constructed of materials compatible with the adjacent architecture. Landscaping materials shall be those listed in the Downtown Lawton Overlay Design Policy.
(Ord. 2006-67, Added, 09/26/2006)
This district is intended to accommodate those commercial needs of the regional trade area. Such accommodation shall be provided in a unified shopping center with architectural and space controls as necessary to meet market and economic demands.
(Ord. 2006-67, Added, 09/26/2006)
Beginning at the southeast corner of Lot 16, Block 65, North Addition; thence north to the northeast corner of Lot 1, Block 65, thence west to the northwest corner of Lot 4, Block 65; thence north to the north right-of-way line of Ferris Avenue; thence east to the east right-of-way line of N Railroad Street; thence south along the east right-of-way line of N Railroad Street to a point east of southeast corner of Lot 16, Block 66; thence west along north right-of-way line of Gore Boulevard to the point-of-beginning.
AND
Beginning at northwest corner of Lot 4, Block 2, Original Townsite; thence east to east right-of-way line of N Railroad Street; thence south along the east right-of-way line of N Railroad Street to point east of northeast corner of Lot 1, Block 44; thence west along the south right-of-way line of SW C Avenue to northwest corner of Lot 8, Block 43; thence north to the point-of-beginning.
(Ord. 2006-67, Added, 09/26/2006)
A.
The following uses are permitted in the Commercial Central District:
1.
Convention centers.
2.
Day care centers, licensed by the State of Oklahoma.
3.
Department stores.
4.
Hotels.
5.
No bars or lounges will be permitted; however, private clubs and entertainment will be permitted when the serving of alcoholic beverages is auxiliary to a restaurant use.
6.
Parking, public and/or private.
7.
Professional offices and financial institution (excluding pawn shop).
8.
Restaurant (no drive-in).
9.
Specialty retail stores and shops.
10.
Stores and shops for retail business, including incidental minor repair and service.
11.
Theater and movie.
12.
Transportation facilities: Surface passenger. Surface facilities which contribute to the movement of people on a local or cross-country basis. Typical uses include inter-city bus or railroad passenger terminals, multi-modal transportation stations and local mass transportation passenger stations.
13.
Accessory uses customarily incidental to the above uses.
14.
Any other use which is similar in character to those enumerated above as determined by the planning commission, provided these uses are not more obnoxious or detrimental to the area in which it is located, by reason of noise, offensive odor, smoke, dust, vibration, traffic congestion or danger to life and property than those uses enumerated above.
15.
Other public uses necessary for access to interior areas for emergency vehicles and service.
16.
Uses Permitted on Review. Any use that is not similar in character to those enumerated above but is determined by the Lawton Urban Renewal Authority to be consistent with the objectives of the Urban Renewal Plan for that area, may be authorized as a use permitted on review as provided in Section 18-1-1-113 of this Municipal Code.
(Ord. 2006-67, Added, 09/26/2006; Ord. No. 10-05, § 1, 2-9-2010; Ord. No. 22-19, § 2, 7-12-2022)
A.
Building Height. In the Commercial Central District no building shall exceed one hundred sixty-five (165) feet.
(Ord. No. 10-05, § 2, 2-9-2010)
To provide for a diverse but integrated live-work play environment that promotes a cohesive neighborhood lifestyle.
(Ord. 2006-67, Added, 09/26/2006)
Beginning at the northeast corner of Lot 13, Block 63, North Addition; thence north ten (10) feet for the point of beginning; thence west to a point ten (10) feet north of the northeast corner of Lot 16, Block 62; thence north along the west right-of-way line of NW 4th Street to the north right-of-way line at Ferris Avenue; thence east to a point one-hundred (100) feet north of the northeast corner of Lot 4, Block 4; thence south to the southeast corner of Lot 13, Block 19; thence continuing south fifty (50) feet to the centerline of NW Dearborn Avenue; thence east to the centerline of NW 3rd Street; thence south to the centerline of NW Columbia Avenue; thence west one-hundred ninety (190) feet to a point north of northeast corner Lot 4, Block 41; thence south to the point of beginning.
(Ord. 2006-67, Added, 09/26/2006; Ord. No. 14-24, § 2, 8-12-2014)
A.
The following uses shall be permitted in the Medium Intensity Residential District:
1.
Single-family residential dwelling unit
2.
Two-family residential dwelling unit
3.
Assisted living center, retirement center, nursing home
4.
Bed and breakfast
5.
Church
6.
Family day care home
7.
Library
8.
Multiple-family dwelling apartment houses; provided however, that a structure to be used as a dwelling for more than four (4) families shall be of new construction, originally designed for the number of dwelling units contained in or proposed for the structure.
9.
Non-profit institutions of higher education with all accessory and auxiliary buildings and uses customarily incidental to such institutions.
10.
Public park or playground
11.
Public school or school offering general educational courses the same as ordinarily given in public schools and having no rooms regularly used for housing and sleeping.
12.
Rooming or boarding house
13.
Accessory uses customarily incidental to home occupation as permitted by the Lawton City Code when situated in the same dwelling, such as dressmaking, seamstress, tailoring, or millinery, when engaged in by members of the resident family.
14.
Accessory buildings including a private laundry, utility or storage building, garage, and carport as a part of a residential dwelling or housing project.
(Ord. 2006-67, Added, 09/26/2006)
A.
Building Materials. In the area of Medium Intensity Residential District the primary building materials shall be clay fired brick or wood plank siding or similar material to complement the surrounding residential district. Other high quality architectural materials may be used on a portion of the structure not to exceed forty-nine percent (49%) subject to review and approval of the ARC. Window and door areas shall be included in the calculation necessary to determine the allowable other material portion of building material requirement.
B.
Building Height. In the Medium Intensity Residential District no building shall exceed forty-five feet (45′).
C.
Setbacks. In the Medium Intensity Residential District the following setbacks shall be met:
1.
Front Yard. All buildings in the Medium Intensity Residential Overlay District shall be set back from street right-of-way lines to comply with the following front yard requirements:
a)
All buildings shall sit back a minimum of twenty feet (20′) from back of the curb or at the right-of-way line, whichever is greater.
b)
When a yard has double frontage, the front yard requirements shall be complied with on both streets.
2.
Side Yard. All buildings shall provide a side yard setback of one-half (½) the height of the proposed building.
3.
Rear Yard. All buildings shall provide a rear yard setback of one-half (½) the height of the proposed building.
4.
Extensions into Yard Areas. The following features may extend into the required minimum yard areas. Such extensions shall not exceed five feet (5′) into the front and rear yards and two feet (2′) into the side yards.
a)
Open or lattice enclosed fire escapes required by the fire code;
b)
Fireproof outside stairways required by the fire code;
c)
Balconies opening into fire towers projection required by the fire code;
d)
The ordinary projection of chimneys and flues; and
e)
Projecting roof structural lines or eaves, provided that covered porches may not extend into the required front yard.
D.
Accessory Structures. Accessory structures shall be permitted in the area of Medium Intensity Residential District subject to the following:
1.
Accessory structures shall complement the architectural style of the main structure.
2.
Accessory structures shall meet the side yard setback requirement set out in Section 18-5-5-562, rear yard setback requirement set out in Section 18-5-5-563, and separation requirement set out in Section 18-4-1-404.1 of this chapter.
E.
Parking.
1.
All off-street parking and driveways for single-family and two-family residential shall be located in the rear of the property with access from the alley.
2.
Driveways are prohibited from extending into the front yard for single-family and two-family residential.
(Ord. 2006-67, Added, 09/26/2006)
This district is intended to serve the park and open space and public building needs of the community.
(Ord. 2006-67, Added, 09/26/2006)
The entire right-of-way of Gore Boulevard from the east right-of-way line of Railroad Street to the west right-of-way line of 7th Street.
(Ord. 2006-67, Added, 09/26/2006)
A.
The following uses are permitted in the Public District:
1.
Any use by a governmental unit or instrumentality thereof.
2.
Parks and public open space, including public gardens.
(Ord. 2006-67, Added, 09/26/2006)
DOWNTOWN LAWTON OVERLAY
DISTRICT DESIGN POLICY
The purpose of the Downtown Lawton Overlay District is to encourage economic development of the area, to regulate the character and appearance of the area, and preserve and protect surrounding neighborhoods. The theme for Downtown Lawton was developed in the Revitalization Plan. Downtown Lawton is to be developed as a "live-work" environment; once that supports and celebrates the pedestrian, and encourages activity throughout the day. The Wichita Mountains, native stone, and Fort Sill are images and materials that provide the desired look and feel for downtown Lawton.
In addition to Section 18-1-106, the following definitions are for terms commonly used in the Downtown Lawton Overlay District Design Policy:
A.
Anchors: (An anchor store) A large store, such as a department store or supermarket, that is prominently located in a shopping mall to attract customers who are often expected to patronize the other shops or stores in the mall.
B.
Architectural review committee shall be the Lawton Urban Renewal Authority.
C.
Bollard: A low single post, or one of a series, usually stone, set to prevent motor vehicles from entering an area.
D.
Cornice: The exterior trim of a structure at the meeting of the roof and wall; usually consists of bed molding, soffit, fascia and crown molding.
E.
Corridor: A relatively long, narrow densely developed region of the city facilitating access to two or more areas of the city.
F.
Gateway: An entrance, opening or structure that services as an entrance or means of access.
G.
Kiosk: A small gazebo or pavilion, usually open, built in gardens and parks. Similar small structures, either enclosed or open on one side, serve as informational points or may be used for the sale of merchandise such as newspapers or magazines.
H.
Lintel: A horizontal structural member, such as a beam, over an opening which carries the weight of the wall above it; usually of steel, stone or wood.
I.
Luminaire: A complete lighting unit including lamp, shade, reflector, fixture and other accessories.
J.
Pilaster: Usually decorative features that imitate integral or attached columns or piers but are not supporting structures, as a rectangular or semicircular member used as a simulated pillar in entrances and other door openings; may be constructed as a projection of the wall itself.
K.
Portico: A covered entrance whose roof is supported be a series of columns or piers, commonly placed at the front entrance to a building.
L.
Rotunda: A circular building or structure, especially one with a dome.
M.
String course: A horizontal band of masonry, generally narrower that other courses, extending across the facade of a structure and in some instances encircling such decorative features as pillars or engaged columns; may be flush or projecting, and flat-surfaced, molded, or richly carved.
A.
Overall Building Design Concepts. Building groupings should be composed of a series of individual elements that stand on their own, but when combined contribute to a coherent overall sense of place.
B.
Character and Massing. Architectural massing is the act of composing and manipulating three-dimensional forms into a unified coherent architectural configuration. During this process, the relations among massing elements are studied; this includes the relations of the building with its surrounding context and of the building with its subparts. Massing comprises all decisions affecting the external architectural form. It is a crucial component of design because it is the phase where a designer defines the building's identity as well at the impact it has on its urban environment. Breaking down the massing and scale of larger buildings creates a pedestrian scaled collection of smaller individualized elements that is in keeping with the overall concept. The following character and massing techniques are encouraged:
1.
Created a varied skyline with forms (i.e. towers, domes and rotundas), especially at corners.
2.
Accentuate important locations, especially entries.
3.
Architecture shall enhance the pedestrian experience by providing human-scaled details and amenities.
C.
Exterior Appearance of Buildings
1.
Expression of Base, Middle, Roof. Architectural massing that strongly defines a base, middle and roof is strongly encouraged. Roof forms shall be expressed whenever possible along the pedestrian realm in a visually interesting fashion, avoiding flat, unarticulated expressions.
2.
Modules. The massing of any facade should generally not exceed fifty feet (50′) maximum (horizontal dimension). Shop fronts should be broken down even further, with massing variations every thirty feet (30′) or less. Use variations to enhance the articulation of building volumes.
3.
Corner Treatment. Corners of buildings are encouraged to be eroded at key intersections to open up visibility and allow collection areas for pedestrians. Cafes and other uses that promote street life are encouraged at these corner locations. Buildings will be designed to meet the sight triangle requirements of Section 18-4-1-404.1 of the Lawton City Code without compromising the corner design.
4.
Windows
a.
Punched-type windows are appropriate. They should be inset a minimum of eight inches (8″) from the face of the building to create deep shadow lines and visual relief.
b.
To control glare and reinforce the traditional image of bearing wall architecture, ribbon windows and curtain walls are not allowed.
c.
Clear glass is required in all retail storefronts; smoked, reflective, or black glass is prohibited. However, if specialized retail items or activities require a different type glass, the developer may request approval of an alternative by the ARC.
d.
Use of reflective glazing shall be avoided on the ground floor. However, if specialized retail items or activities require a type of reflective glazing, the developer may request approval by the ARC. Use of reflective glazing on the second level and above is subject to review by the ARC.
5.
Awnings and Canopies
a.
Structural awnings/canopies are encouraged at the ground level to enhance articulation of the building volumes.
b.
The material of awnings and canopies shall be architectural materials that complement the building such as metal flashing and wood trim. Some fabrics may be allowed; however, vinyl is prohibited.
c.
Awnings/canopies shall not be internally illuminated.
d.
Awnings/canopies shall not exceed the length of fifty feet (50′) without a break.
e.
Awnings/canopies shall not extend more than three feet (3′) over the sidewalk of right-of-way whichever is closer.
f.
Awnings and canopies are not recommended adjacent to street trees and lighting.
g.
All designs of awnings/canopies will be approved by the ARC.
6.
Colors
a.
Color palette shall take cues from the surrounding environment of Lawton, integrating the classic base colors of Oklahoma materials including but not limited to warm earth tones such as tan, green, ochre, beige, blue, and terra cotta.
b.
Vibrant accents may be used in limited quantities at appropriate locations. Accents are to be of high quality materials and used to promote a vibrant street life in a manner compatible with the nature of the street.
7.
Materials
a.
A minimum of fifty-one percent (51%) of the building material shall be clay fired brick. In sub-districts without specific building material requirements, architectural materials defined in Downtown Lawton Overlay District may be used on a portion of the structure not to exceed forty-nine percent (49%) subject to review and approval by the ARC. Window and door areas shall be included in the calculation necessary to determine the allowable other material portion of building material requirement.
b.
High quality materials such as terra cotta, natural stones, clay fired masonry units, or other approved masonry materials are encouraged for architectural details and accents whenever appropriate. A stronger use of details and materials is suggested at entries and the ground floor.
c.
When incorporated into the building a high quality durable base material, such as terra cotta, natural stone, cast stone, clay fired brick, or other approved masonry materials should be used for building facades abutting the sidewalk. The base is recommended to be a minimum of eighteen inches (18″) in height and appropriately proportioned and detailed for the facade of the building.
d.
Roof materials shall be of high quality. Different materials and finishes that promote variety and individuality to buildings within an overall compatible palette of materials are encouraged. The use of heavy gauge standing seam metal roofs shall be subject to review by the ARC.
8.
Details. Large expanses of flat exterior cement plaster walls will not be allowed. When large amounts of mass are required, the mass shall be broken down by changes in plane, reveals or decorative details. The following accent features add detail and are encouraged:
a.
overhangs
b.
cornices
c.
string courses
d.
peaked roof forms
e.
arches
f.
window sills
g.
outdoor patios
h.
lintels
i.
pilasters
j.
canopies, awnings or porticos
k.
architectural details (i.e. tile work and moldings)
l.
integrated planters or wing walls with landscape and sitting areas
9.
Screening of Mechanical Units and Service Areas
a.
All mechanical units and services areas shall be screened from public view. This includes, but is not necessarily limited to, the following: air conditioners, transformers, trash collection equipment, off-street loading areas, etc.
b.
When roof decks with mechanical units are visible from adjacent developments, they shall be as unobtrusive as possible and painted to match finish roof material. The addition of parapet walls enclosing the mechanical units is encouraged.
c.
Trash collection areas, loading areas, and services areas must be incorporated into the building envelope or screened by a masonry wall at least six feet (6′) or one foot (1′) higher than the container it screens (whichever is higher).
d.
All screening will be complementary to the building served in material and landscaping approach through the use of a similar material palette.
A.
Landscape Plans. A landscape plan, separate and apart from other required plans, shall be submitted and made a part of the file at the time of submission for a building permit. No landscape plans are required for single-family residential developments. For property located in the downtown area as defined in Section 18-1-1-106 of the Lawton City Code, payment of a fee in lieu of landscaping shall be submitted based on the number of points required by Section 18-12-1-1210 if landscaping is not to be installed. The funds will be used by the city to beautify the rights-of-way in the downtown area. The fees are set out in Appendix A, Schedule of Fees and Charges, of the Lawton City Code.
1.
All landscape plans shall include the following information:
a.
North arrow and scale;
b.
The location of existing property lines and dimensions of the tract, accurately drawn to scale;
c.
Exact locations and outline of all rights-of-way (both existing and proposed by the Functional Classification Plan of Streets of the City of Lawton);
d.
The location of all existing and proposed buildings and parking areas, including the exact number of parking spaces provided;
e.
The location and size of any permanent fixture or structure, including but not limited to sidewalks, walls, fences, trash enclosures, project storage, lighting fixtures, signs, and benches which are relevant to the landscape plan;
f.
The location, size, type, spacing (on center), and quantity of all proposed plant materials and existing plant materials credited for points shall be graphically represented and referenced on the plan by a common name and/or scientific name or an appropriate key of all plant species;
g.
A detailed sprinkler diagram or irrigation plan showing coverage. If an automatic irrigation system is not proposed, the location of all required hose connections and other watering sources shall be noted;
h.
All screening required by these regulations; and
i.
A table listing the square footage of the developed area, number of proposed parking spaces, and all plant materials by scientific and common name, size, type, quantity, and point value and totals.
B.
The developer shall determine the location, size, and type of all above ground and underground public utilities to identify any safety hazards during installation. Plants and trees should be placed where they will not interfere with utilities, with particular attention given to the growth reached at maturity. In addition, as required in other sections of the city code, property owners shall keep vegetation trimmed in accordance with the Property Maintenance Code of the City of Lawton. All trees and plants should fit the microclimate, soils, sun, moisture, and environment in which they are planted. Selected trees and plants should be able to endure pollution, compacted soils, minimal water and low maintenance. Trees with a strong horizontal branching characteristics should be selected.
C.
Definitions. As used in the policy, the following terms shall have the meanings given:
1.
Caliper means the diameter of a tree trunk less than twelve inches (12″) in diameter. For trees less than four inches in diameter (4″) and twelve inches (12″) in diameter, it is measured twelve inches (12″) from the ground.
2.
Deciduous means a plant with foliage that is shed annually.
3.
Developed area means the area of a lot that is disturbed for the purpose of developing structures, parking facilities, loading or storage areas, paved access to off-street parking or loading areas of other areas paved with an all-weather material, or landscaped areas.
4.
Developer means the legal or beneficial owner of a lot or parcel or any land proposed for development and/or inclusion in a development, including the owner of an option, contract to purchase, or lease.
5.
Evergreen means a plant with foliage that persists and remains green year-round.
6.
Groundcover means an evergreen or deciduous planting less than twenty-four inches (24″) in height, excluding turf grass.
7.
Irrigation system means a permanent underground piping and sprinkler head system designed using industry standard methods to provide uniform irrigation coverage over a landscaped area.
8.
Landscape buffer means a combination of living vegetation, such as trees, shrubs, grasses or ground cover material, planted or transplanted and maintained.
9.
Landscape plan means graphic and written criteria, specifications, and detailed plans to arrange and modify the effects of natural and manmade features such as plantings, ground and water forms, circulation, walks, structures, and other features to comply with the provisions of this ordinance.
10.
Landscaped area means any area that contains trees, shrubs, and/or groundcover that have been claimed for point credits.
11.
Mulch means an organic material such as seed hulls, pine needles or tree bark used to control weed growth, reduce soil erosion and reduce water loss.
12.
Parking lot means any off-street, unenclosed ground level facility used for the purpose of temporary storage of motor vehicles. Enclosed parking facilities, such as single or multi-story garages or parking facilities constructed within the confines of a larger building or structure, or parking facilities associated with single family residential development are not included within this definition.
13.
Parking lot planting means plantings of hardy trees, shrubs, and/or ground cover required due to the construction of impervious surface parking to be planted within and/or around the perimeter of the parking lot area, excluding parking garages, decks and covered parking.
14.
Parking lot island means a planting island contained completely within the confines of a parking lot.
15.
Planting plant means the preparation of graphic and written criteria of plant placement, plant specification of type, size and spacing, and other features to comply with the provisions of this section and Section 18-12-1-1210 of the Lawton City Code.
16.
Right-of-way means a strip of land occupied or intended to be occupied by a street, crosswalk, railroad, road, electric transmission line, oil or gas pipeline, water main, sanitary or storm sewer main, or for another special use. The usage of the term "right-of-way" for platting purposes shall mean that every right-of-way hereafter established and shown on a record plat is to be separate and distinct from the lots or parcels adjoining such right-of-way and not included within the dimensions or areas of such lots or parcels.
17.
Shrub means a living self-supporting woody deciduous or evergreen species no less than eight inches (8″) in height, and no greater than fifteen feet (15′) in height, which will remain full and attractive throughout the year.
18.
Sight-proof fence means a solid opaque fence or wall that is a minimum of six feet (6′) but no more than eight feet (8′) in height, made of wood, masonry, decorative metal, or other suitable material in compliance with the city code.
19.
Sight triangle is defined in Section 18-4-1-404.1 of the Lawton City Code.
20.
Street tree is a tree located in existing or future sidewalk adjacent to a road or street, enclosed in a tree grate to protect the tree from pedestrian traffic.
21.
Tree means a living self-supporting woody or evergreen plant that normally grows to a minimum height of fifteen feet (15′) and which has one or several self-supporting stems or trunks and numerous branches.
22.
Turf grass means existing or installed grass that has been sodded, seeded, or hydro-mulched. Turf grass eligible for point credits must be located within the property lines of a development. The maximum credit for turf is twenty-five percent (25%) of the total landscape points required for any site. All turf credited for points shall completely cover all exposed areas of soil after one full growing season.
D.
Trees. The following are recommended guidelines for tree selection and pattern:
1.
General Tree Guidelines.
a.
When selecting the tree species and patterns of planing, consideration should be given to the following: distance of trees from buildings, sidewalks, streets and one another; how the tree will look at maturity; seasonal colors; bark characteristics; uniformity and size of canopy shape; and whether the trees produce berries of thorns.
b.
Trees should be planted far enough apart from each other so that when they are mature, the edges of the tree canopies barely touch. For example, if trees have a twenty-five foot (25′) spread, space them at twenty-five feet (25′) on center.
c.
Trees are encouraged where possible within the downtown area; in particular at intersections and as a transition to adjacent neighborhoods.
d.
The crape myrtle has been designated as the official tree for the City of Lawton, and its use should be emphasized wherever appropriate.
2.
Tree Location and Size.
a.
When selecting the location and size of trees for a location, consideration should be given to the following: the mature tree size before planting so that trees have room to grow; locations of signs, lights, overhead or underground utilities; planting trees, where possible, with regular spacing; and possible sight and space interference with pedestrian and vehicular traffic.
b.
Plant trees a minimum of thirty inches (30″) next to the back-of-curbs.
c.
At alleys trees should not be located closer than ten feet (10′) from the projected alley property line.
d.
Create a clear walking zone between trees and buildings. Distances as low as five feet (5′) may be possible where space is very limited; however, few tree species will be appropriate in such a small area. Trees must be placed far enough away from buildings to allow them to grow without excessive pruning.
e.
Trees shall be required to meet the following size requirements:
f.
Street trees in grates should be three inches (3″) caliper, minimum, with high branching where pedestrians will be passing beneath the tree canopy. This size is recommended so that adequate branching height is achievable without severe pruning. Note that under the favorable conditions of a tree lawn, this size tree may soon exceed the growth rate of a larger tree planted in a grate.
g.
The branching height of mature trees should be no less than eight feet (8′) above the sidewalk.
h.
Small varieties of thornless and fruitless trees may be used only in median areas or parking lot islands where lower branching habit will not interfere with pedestrians, vehicles, or driver visibility.
3.
Tree Selection.
a.
It is recommended that all trees should meet or exceed the standards for plant material as set forth in the American Standard for Nursery Stock,
b.
Trees near walks should be thornless and fruitless to minimize maintenance and to reduce hazards. They must be strong, wooded, resistant to most diseases and insects, single trunked, with upright growth and a medium to long life expectancy. Branches should resist breaking. Their roots must not grow close to the surface.
4.
Street Trees. The following is the approved list of Street Trees. Other species may be utilized with approval from the director of planning.
A formal, repetitive use of trees is recommended to unify districts and create a continuous pedestrian scale suited to storefronts to buffer people from cars and make a more comfortable setting.
5.
Special Use and Ornamental Trees. Special use and ornamental trees shall not be planted as street trees unless approved by the director of planning; however they may be used in medians and neighborhood entry marker plantings. These types of trees shall only be used where overhead power lines along the street edge would not allow a large street tree to reach maturity without sever pruning. The canopy of special use and ornamental trees, when mature, shall not extend over the sidewalk where street trees are located.
E.
Tree Grates. Tree Grates constructed of either cast iron or ductile iron with two (2) openings for uplighting may be required in certain sub-district regulations. The director of planning shall maintain a list of approved tree grates and manufacturers.
1.
Tree grates, and their installation, shall comply with the Americans with Disabilities Act.
2.
The design of the slots shall be: 3-4 full circle rings of the oval slots, none to exceed one half inch (½″) in width, all radiating lengthwise from trunk outward; and where the corners of the tree grates shall continue the same pattern of rings of slots, as the rest of the tree grates.
F.
Groundcover, Shrubs, and Flowers. Plantings other than trees in the streetscape may include turf, groundcovers or shrubs. All species must be approved by the director of planning prior to being planted. This area helps soften the street environment along the street edge. Tree lawns should be planted with sod or low groundcovers (below six inches (6″) mature height) in commercial areas where pedestrian traffic does not warrant paving. Where there are very narrow spaces, all efforts should be made to successfully install plant material there. If it is agreed that plant materials cannot grow there successfully, then those areas may be paved with brick, flagstone, or concrete pavers and/or colored or scored concrete, as approved. All plantings shall have four inches (4″) of approved finely chopped tree mulch spread evenly.
G.
Parking Lot Landscape Requirements. All non-covered, street-level parking facilities shall be landscaped in accordance with the following requirements:
1.
Consistent repetitive placement of streetscape elements, i.e. trees, is recommended to be placed every twelve (12) parking spaces on surface parking lots.
2.
The distance between any parking space and a landscaped area shall be no more than seventy-five feet (75′).
3.
Required parking lot plantings shall be in-ground and not placed upon a paved surface.
4.
All parking lot planting areas shall be protected with concrete curbs or approved equivalent barriers. Bumper blocks shall not be used for boundaries around the landscaped area.
5.
Each tree shall be planted a minimum of two feet (2′) away from the outside of any permanent barrier of a landscaped area or edge of the parking area.
6.
All groundcover shall be a mature height of not more than twenty-four inches (24″). Loose rock, gravel, decorative rock or stone, or mulch shall not exceed twenty percent (20%) of the parking lot planting area.
H.
Landscape Irrigation Requirements. The developer is required to install an irrigation system to all required landscape areas to ensure that sufficient water is delivered to the plant material.
I.
Completion Requirement. A certificate of occupancy, for any use, shall not be issued until the required landscaping has been installed in accordance with the landscape plan or fee in lieu of landscaping has been paid; provided, however, if a structure and all site improvements are complete except for the required landscaping, temporary occupancy may be permitted for a period of six (6) months.
J.
Maintenance. Maintenance of the installed landscaping shall be the responsibility of the property owner. If landscaping is not properly maintained, the city shall be authorized to abate is at as a public nuisance and the owner of the property shall be required to install any removed landscaping consistent with the original landscaping plan.
A.
Fencing and Railings. Fencing in conjunction with a streetscape should be an attractive design characteristic to a neighborhood, create space, and reduce noise, while railings can assist those going up stairs and ramps, serve as a safety barrier and provide a place for people to lean against. When selecting fencing and railing, careful consideration should be given to the following: resistance to vandalism, the height and material should relate to the building architecture and character of the district, compliance with the Americans with Disabilities Act, the flow of pedestrian traffic in the vicinity, the height of the fences; and the strength of the railings when many people sit on them.
B.
Street Furnishings. Street furnishings such as seating, newspaper racks, bicycle racks, bollards, and trash receptacles are important functional elements and amenities, especially in the commercial streetscape. They should be attractive and unified within any given district.
1.
See the Appendix for details on each of the following street furnishing. The director of planning shall maintain a list of approved street furnishings and manufacturers.
a.
Exhibit A - Bicycle Racks
b.
Exhibit B - Bollards
c.
Exhibit C - Newspaper Distribution Units (Newspaper Racks)
d.
Exhibit D - Seating
e.
Exhibit E - Trash receptacles
f.
Exhibit F - Kiosks
g.
Exhibit G - Public Art
2.
Mailboxes. Mailboxes are placed by the U.S. Postal Service. Their location should be coordinated with the postal service during design to minimize clutter.
3.
Lighting.
a.
Street Lighting. Street lighting plays an important role in the quality, character, function, and safety of streets, especially at night. Lighting illumination levels are based on two criteria: the uses along the street (such as commercial or residential) and the volume of automobile traffic. Scale, style, lighting effect, cost, and maintenance affect fixture selection. All proposed light poles, fixtures and accessories shall be approved by the ARC.
b.
Spacing and Location
1)
Locate lights in a consistent pattern that complements other street elements such as trees, benches, and paving.
2)
Place lights at least two and one-half feet (2 ½′) from the back of curb to allow room for car bumpers and door swings. Align with street trees where possible.
3)
Place lights at least five feet (5′) from the edge of the curb transition point nearest the driveway, curb cut, or alley and at least twenty feet (20′) from the extended flow line of the nearest intersection.
4)
Space lights at least fifty feet (50′) apart. Sixty feet to one hundred feet (60′ - 100′) is preferable in most cases to provide a pleasing effect and to ensure room for street trees and other furnishings. Closer spacing is discouraged to avoid uncomfortable glare.
5)
Install luminaries a maximum of fourteen feet (14′) and a minimum of twelve feet (12′) above sidewalks to avoid glare into upper windows. Avoid placing lights directly in front of residences to avoid disturbing inhabitants.
6)
Spillover lighting into abutting lots should not exceed 0.2 foot candle, measured at the lot line.
7)
Lighting plans must have a photometric plan.
c.
Style and Materials. Select lighting styles to integrate with the architecture or historical character of the area.
1)
Acorn type luminaires are recommended for most commercial streets in order to maintain consistency throughout the Downtown Lawton Overlay District. Avoid selecting different types of lighting for small projects.
2)
Poles should be well articulated with enough detail to create a range of scale for the pedestrian whether near or far away. Flutes, moldings, or other traditional details are strongly preferred.
3)
Alternative fixtures that reflect local architectural or historical character are subject to approval.
4)
Single luminaires are highly preferred over multiples, which should be considered only for specific locations such as gateways or entry points of a district.
5)
Luminaires are to be translucent or glare-free, utilizing obscure glass or acrylic lenses.
6)
Multiple luminaires should not be more than one hundred (100) watts in each luminaire.
7)
All light poles on 2nd Street and C Avenue shall have banner arms attached to them.
8)
Light poles and accessories shall be a bronze type color.
4.
Signs. The appearance of all signs shall be compatible with the purpose of the subdistrict, the surrounding architecture, and the architecture of the building.
(Ord. 2006-67, Added, 09/26/2006)
DOWNTOWN LAWTON OVERLAY
DISTRICT DESIGN POLICY
APPENDIX
Exhibit A - Bicycle Racks
Bicycle Racks. Bicycle racks should be provided within commercial streetscapes to encourage bicycle use, to reduce vehicular traffic, and to promote a healthier lifestyle.
1.
Bicycle racks shall be placed in the parking lots located in the rear of the building.
2.
At no time shall the placement of the bicycle racks violate the dimensions of an accessible route as described in the Americans with Disabilities Act.
3.
Bicycle racks shall not be located so that when the racks are full of bicycles, they will obstruct the view of drivers.
4.
Select racks that are permanently mounted structures, designed in a simple style, and easy to use. The rack must allow both the frame and at least one wheel to be locked. Racks that allow for the locking of only one wheel are not acceptable.
5.
Place bicycle racks where they are near entrances of gathering places. Avoid placement that creates a tripping hazard. If possible, place the racks where the parked bicycles will be visible from inside the adjacent building. Ideally, bicycle parking should be more convenient than automobile parking.
6.
Bicycle racks shall be in the shape of an "arch" or "upside-down U".
7.
The two (2) rack pipes shall be mounted in-ground.
8.
The finish of the racks shall be powder-coated, or approved equal.
9.
The racks shall be constructed of a minimum pipe size of sch. 40.
10.
Pipe shall be two-inches (2″) in diameter.
11.
The vertical distance from the top of the pavement to the top of the arch shall be between thirty-four inches (34″) and thirty-six (36″).
12.
The horizontal distance from the pipes, where there are mounted, center of pipe to center of pipe, shall be between seventeen inches (17″) and twenty-four inches (24″).
13.
Bicycle racks shall be installed so that they are all facing the same direction.
14.
The spacing of the racks shall be a minimum of thirty-six inches (36″), center of pipe to center of pipe.
15.
The minimum distance of a bicycle rack shall be installed from the side to a building or other boundary shall be eighteen inches (18″).
16.
The minimum distance of a bicycle rack shall be installed from the center of either pipe forward or back to the nearest building or boundary shall be thirty inches (30″).
17.
Every group of bicycle racks shall be the same model.
Exhibit B - Bollards
1.
Bollards are generally used to create a low barrier that separates auto and pedestrian traffic, highlight and protect a special feature, or direct circulation patterns.
2.
Select a bollard that is architecturally and aesthetically appropriate to the area and other streetscape elements. Bollards can be used to provide low-level lighting to pedestrian paths.
3.
The design of the bollards shall compliment the architectural style of the streetscape and should be aesthetically pleasing in their appearance and placement in the space.
4.
Bollards shall be between twenty-eight inches (28″) and forty-two inches (42″) high.
5.
Bollards should be set two and one-half feet (2 ½′) minimum clearance from the curb face.
6.
Clearance between bollards or between a bollard and any other structure or pole must be at least thirty-six inches (36″). Clearance must be at least sixty inches (60″) where there is clearly a primary path.
7.
Bollards may be chained or cabled together if provided with attachments as an integral part of the design.
8.
Standard pipe filled with concrete is not acceptable in pedestrian locations.
9.
Bollards shall be constructed of cast iron, ductile iron, or approved equal.
10.
Utilize removable bollards where service vehicles need periodic access.
11.
At no time shall the placement of the bollards violate the dimensions of an accessible route as described in the Americans with Disabilities Act.
12.
The finish of the bollards shall be powdercoated steel, Phillips Acrycote or approved equal.
Exhibit C - Newspaper Distribution Units
1.
The preferred method of newspaper distribution shall be in a newspaper cabinet, as shown in the list of approved street furnishings. The style/color of such a newspaper cabinet must be approved by the ARC before installation.
2.
If a newspaper cabinet is not used, then an approved newspaper rack shall be used. The racks should be clustered together wherever possible. Screening shall also be considered to minimize views of the racks from the street.
3.
Newspaper distribution units shall serve the public without compromising pedestrian circulation and the appearance of the street.
4.
The design and color of the newspaper distribution unit shall compliment the architectural style of the streetscape and shall be aesthetically pleasing in their appearance and placement in the space.
5.
Newspaper distribution units shall be placed at least two and one-half feet (2 ½″) from the curb face making sure that there is adequate width on the sidewalk between racks and adjacent buildings. If possible, distribution units shall be placed against the building wall, leaving the rest of the sidewalk clear for pedestrians. At no time shall the placement of the distribution units violate the dimensions of an accessible route as described in Americans with Disabilities Act.
6.
Newspaper distribution units should be placed as close as possible to pedestrian activity nodes. They shall not be located where they will obstruct the view of the drivers at intersections or block views of business displays or signs.
Exhibit D - Seating
Seating. Seating may be provided when space allows for a clear pedestrian walking zone and separate seating areas. Seating expands opportunities for people to use the street, especially in commercial streetscapes. Seating may be provided by benches, planter walls, edges, steps or moveable chairs.
1.
The design of seating elements shall compliment the architectural style of the streetscape and should be aesthetically pleasing in their appearance and placement in the space.
2.
All benches shall have a seat height at the front edge of seventeen inches (17″) minimum and nineteen inches (19″) maximum above the ground or floor space.
3.
No seating elements shall be located where they will obstruct the view of drivers.
4.
At no time shall the placement of seating violate the dimensions of an accessible route as described in the Americans with Disabilities Act.
5.
Walls and ledges that are available for seating shall be between twelve inches (12″) and twenty inches (20″ high and sixteen inches (16″) wide wherever possible. Walls used for seating on both sides shall be a minimum of thirty inches (30″) wide.
6.
Seating shall be durable and comfortable. Avoid sharp edges and poorly designed or fabricated furniture. Metal is the preferred material.
7.
Benches shall be constructed of steel, cast iron, or approved equal.
8.
Except for moveable chairs, seating shall be secured permanently to paved surfaces for safety and to avoid vandalism.
9.
Seating shall not interfere with plant materials or pedestrian circulation and shall be placed for psychological comfort.
10.
Comfortable seating shall provide a sense of having protection from behind and something interesting to look at such as shop fronts or other pedestrians.
11.
Seating adjacent to where bicycling is permitted on sidewalks or other bike paths must have a minimum three-foot (3′) clearance from the bicycle path. These areas should not be provided on the street where possible.
Exhibit E - Trash Receptacles
1.
The design of the trash receptacles shall compliment the architectural style of the streetscape and should be aesthetically pleasing in their appearance and placement in the space.
2.
Trash receptacles shall be easily accessible for pedestrians and trash collection. Their design should relate to other site furnishings as well as building architecture. They must be carefully placed to be unobtrusive yet effective. On paths where bicycling is permitted, maintain a three foot (3′) setback from the edge of the bike path.
3.
Trash receptacles shall be designed to fit anticipated use and frequency of maintenance. They should be firmly attached to paving to avoid vandalism. Covered tops and sealed bottoms should be included to keep the contents dry and out of sight at all times.
4.
Trash receptacles shall be designed in two pieces. The inner container should ensure easy trash pickup and removal and an outer shell should blend aesthetically with the other streetscape elements. They should be conveniently placed near benches, bus stops, and other activity nodes, and arranged with other streetscape elements into functional compositions. They should not be placed directly adjacent to benches.
5.
At no time shall the placement of the trash receptacles violate the dimensions of an accessible route as described in the Americans with Disabilities Act.
6.
Trash receptacles shall be constructed of steel.
7.
The finish of the trash receptacles shall be powder-coated, or approved equal.
8.
Trash receptacles shall not be located where they will obstruct the view of drivers.
Exhibit F - Kiosks
1.
Kiosks are intended to serve as informational points, to direct pedestrian traffic, and to organize outdoor spaces. They should be used sparingly and only when needed to impart community information.
2.
Kiosks should be carefully positioned in conjunction with other elements of street furniture such as benches, lighting, and landscaping. They should be focal points in open areas, and may be combined with other elements like business directories, telephones, mailboxes and newspaper racks. The design should be compatible with and complementary to the surrounding architecture and other furnishings.
3.
Kiosks should facilitate the posting of notices and their removal and cleaning.
4.
Kiosks should be easily accessible from all sides and adequately illuminated.
5.
Kiosks should be designed so they are easy to maintain.
Exhibit G - Public Art
1.
Public art should capture and reinforce the unique character of a place. It can interpret the community by revealing its culture, history, or fantasy. Art that invites participation and interaction and that adds local meaning is preferred.
2.
Art should add beauty and interest. It may feature humor, water, seating, and opportunities for children to play. The setting for public art is significant to the experience of the art itself. The place's impact on the art may be as great as the art's impact on the place. The two together enrich the place and make it memorable.
3.
When considering placement of freestanding pieces of art or sculpture, avoid locations where it would compete with a storefront or obstruct a pedestrian path, create a traffic hazard, or compete with another sculpture.
4.
Murals of art (no advertising) may be used to enliven otherwise blank walls.
5.
Construct public art using durable materials and finishes such as stone or metal.
(Ord. 2006-67, Added, 09/26/2006)
FIGURE 1
DRIVEWAY REQUIREMENTS FOR ALL USES
All one-lane egress and ingress driveways for all uses except for one- and two-family residential uses shall be greater than fifteen (15) feet but less than twenty (20) feet wide, with the combined width not to exceed the maximum listed above.
1 Minimums and maximums apply to each driveway measured at the property line with the exception of 1 & 2 family dwellings having frontage of 61′ to 300′. The maximum curb opening widths indicated shall be the maximum combined widths of each curb opening for these frontages.
2 For all uses which primarily serve or are served by vehicles requiring larger than normal turn radii or access, such as tractor trailer vehicles, and such use is located in an industrial zoning district classification or for public fire and police responder facilities located in a Public Facilities District the city planner may administratively approve a request for extended curb opening widths. Extended curb opening widths for an industrial zoning district classification use shall not exceed fifty (50) feet. The applicant for such an extended curb opening must be able to adequately demonstrate the need for an extended opening to receive approval.
(Memo. of 8-18-2016)
(Memo. of 8-18-2016)
(Memo. of 8-18-2016)
(Memo. of 8-18-2016)
(Memo. of 8-18-2016)
(Memo. of 8-18-2016)
(Memo. of 8-18-2016)
(Memo. of 8-18-2016)
(Memo. of 8-18-2016)
(Memo. of 8-18-2016)
(Memo. of 8-18-2016)
(Memo. of 8-18-2016)
(Memo. of 8-18-2016)