BAN ON REMOVAL OF GROUNDWATER16
Editor's note— Ord. No. 20,990, §§ 1—5, adopted Jan. 20, 2015, enacted provisions, but did not specify manner of inclusion; hence, codification as Art. XIII, §§ 36-651—36-655 was at the discretion of the editor.
[The following words, terms and phrases, when used in this article, shall have the meanings ascribed to them in this section, except where the context clearly indicates a different meaning:
Person is any individual, partnership, co-partnership, firm, company, limited liability company, corporation, association, joint stock company, trust, estate, political subdivision, or any other legal entity, or their legal representatives, agents or assigns.
Property shall generally mean the United States Army Reserve Center located at 1201 Bond Avenue, Little Rock, AR 72202, and more specifically that area described in section 36-652 and includes any future subdivision or parcel of the property.
(Ord. No. 20,990, § 1, 1-20-15)
A legal description of the lands affected by this article (i.e., the "property") is set forth on the attached Exhibit A and a depiction of such lands is set forth on the attached Exhibit B.
(Ord. No. 20,990, § 2, 1-20-15)
Editor's note— Exhibits A and B can be located at the end of this article.
(a)
Prohibition of use of groundwater within the identified area. The use of any and all currently existing groundwater wells within the identified area is prohibited for any purpose other than those exceptions listed in subsection (b). All existing groundwater wells within the identified area, other than those excepted under subsection (b), shall be closed and abandoned pursuant to applicable requirements within ninety (90) days of the effective date of this article. The construction of new groundwater wells within the identified area is prohibited for any purpose other than those exceptions listed in subsection (b).
(b)
Exceptions for monitoring and remediation. This article shall not apply to wells constructed or used for purposes of investigation, monitoring, removal, and/or remediation of any subsurface contamination or suspected subsurface contamination pursuant to an order of, or with the consent of, the city or any state or federal regulatory agency.
(Ord. No. 20,990, § 3, 1-20-15)
(a)
Property uses restricted to those allowed by current zoning. The property is currently zoned 1-2, Light Industrial District, as currently defined in section 36-320 of the Little Rock Code of Ordinances. The property shall hereafter be restricted to those uses that are identified as compatible with I-2 zoning as of the enactment of this article regardless of whether the property's zoning, or the uses allowed thereunder, should change in the future.
(b)
Provided, however, that in no event, regardless of future zoning, shall the property be used for any of the following purposes, as currently defined in chapter 36 of the Little Rock Code of Ordinances:
(1)
A day nursery or day care center;
(2)
An adult day care center;
(3)
Any eating establishment;
(4)
A business school;
(5)
A commercial, trade, or craft school;
(6)
A bus station or terminal;
(7)
A hotel or motel;
(8)
A drive-in theatre;
(9)
A child care or other play facility.
(Ord. No. 20,990, § 4, 1-20-15)
Any person who is found to have violated this article shall be fined. The maximum fine per violation shall be five hundred dollars ($500.00).
(Ord. No. 20,990, § 5, 1-20-15)
Exhibit A
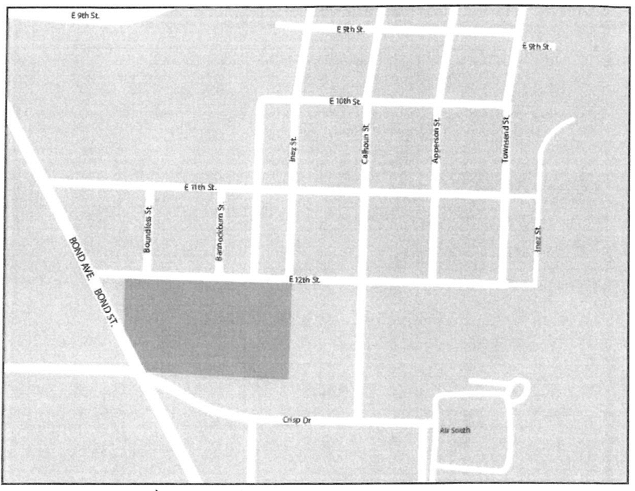
The affected area consists of all of Clinton Park Addition Blocks 16 and 17 and Lots 1 through 8. Block 18; and all parts of Bannockburn Street and all parts of Boundless Street lying south of East 12th Street closed and abandoned; and all parts of East 13th Street (abandoned) between Boundless Street and Inez Street (Hawkins).
(Ord. No. 20,990, 1-20-15)
Exhibit B
(Ord. No. 20,990, 1-20-15)
BAN ON REMOVAL OF GROUNDWATER16
Editor's note— Ord. No. 20,990, §§ 1—5, adopted Jan. 20, 2015, enacted provisions, but did not specify manner of inclusion; hence, codification as Art. XIII, §§ 36-651—36-655 was at the discretion of the editor.
[The following words, terms and phrases, when used in this article, shall have the meanings ascribed to them in this section, except where the context clearly indicates a different meaning:
Person is any individual, partnership, co-partnership, firm, company, limited liability company, corporation, association, joint stock company, trust, estate, political subdivision, or any other legal entity, or their legal representatives, agents or assigns.
Property shall generally mean the United States Army Reserve Center located at 1201 Bond Avenue, Little Rock, AR 72202, and more specifically that area described in section 36-652 and includes any future subdivision or parcel of the property.
(Ord. No. 20,990, § 1, 1-20-15)
A legal description of the lands affected by this article (i.e., the "property") is set forth on the attached Exhibit A and a depiction of such lands is set forth on the attached Exhibit B.
(Ord. No. 20,990, § 2, 1-20-15)
Editor's note— Exhibits A and B can be located at the end of this article.
(a)
Prohibition of use of groundwater within the identified area. The use of any and all currently existing groundwater wells within the identified area is prohibited for any purpose other than those exceptions listed in subsection (b). All existing groundwater wells within the identified area, other than those excepted under subsection (b), shall be closed and abandoned pursuant to applicable requirements within ninety (90) days of the effective date of this article. The construction of new groundwater wells within the identified area is prohibited for any purpose other than those exceptions listed in subsection (b).
(b)
Exceptions for monitoring and remediation. This article shall not apply to wells constructed or used for purposes of investigation, monitoring, removal, and/or remediation of any subsurface contamination or suspected subsurface contamination pursuant to an order of, or with the consent of, the city or any state or federal regulatory agency.
(Ord. No. 20,990, § 3, 1-20-15)
(a)
Property uses restricted to those allowed by current zoning. The property is currently zoned 1-2, Light Industrial District, as currently defined in section 36-320 of the Little Rock Code of Ordinances. The property shall hereafter be restricted to those uses that are identified as compatible with I-2 zoning as of the enactment of this article regardless of whether the property's zoning, or the uses allowed thereunder, should change in the future.
(b)
Provided, however, that in no event, regardless of future zoning, shall the property be used for any of the following purposes, as currently defined in chapter 36 of the Little Rock Code of Ordinances:
(1)
A day nursery or day care center;
(2)
An adult day care center;
(3)
Any eating establishment;
(4)
A business school;
(5)
A commercial, trade, or craft school;
(6)
A bus station or terminal;
(7)
A hotel or motel;
(8)
A drive-in theatre;
(9)
A child care or other play facility.
(Ord. No. 20,990, § 4, 1-20-15)
Any person who is found to have violated this article shall be fined. The maximum fine per violation shall be five hundred dollars ($500.00).
(Ord. No. 20,990, § 5, 1-20-15)
Exhibit A
The affected area consists of all of Clinton Park Addition Blocks 16 and 17 and Lots 1 through 8. Block 18; and all parts of Bannockburn Street and all parts of Boundless Street lying south of East 12th Street closed and abandoned; and all parts of East 13th Street (abandoned) between Boundless Street and Inez Street (Hawkins).
(Ord. No. 20,990, 1-20-15)
Exhibit B
(Ord. No. 20,990, 1-20-15)