81 - ECONOMIC INCENTIVE ZONE OVERLAY DISTRICT
The purpose of the Economic Incentive Zone Overlay District is to provide an area within the city that is considered to be a high priority commercial development corridor in which proposed new development will contribute to economic vitality of the city and is eligible to receive various incentives.
(Ord. No. 15-05, § 1, 4-28-2015)
The Economic Incentive Zone Overlay District may exist with any underlying commercial zoning district and shall be shown on the city's official zone map by adding an "EIZ" to the zoning designation for properties shown in Section 17.81.012.
(Ord. No. 15-05, § 1, 4-28-2015)
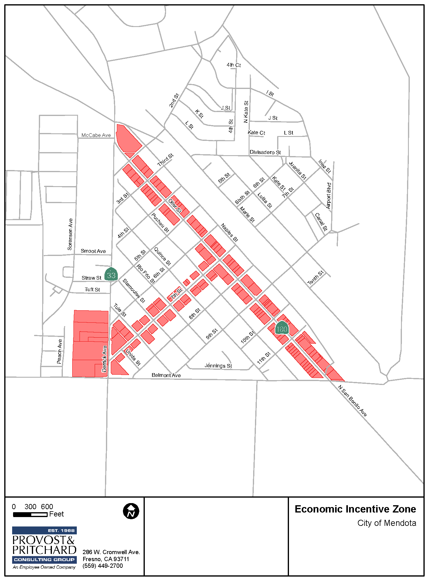
The official map of the Economic Incentive Zone is hereby established, comprising the assessor's parcels illustrated within Exhibit "B."
(Ord. No. 15-05, § 1, 4-28-2015; Ord. No. 15-07, § 1, 6-9-2015)
Editor's note— A full list of applicable properties pursuant to Ordinance No. 15-07 is available from the city clerk upon request.
Where a conflict occurs between the Economic Incentive Zone Overlay District and any other section of the zoning code, the Economic Incentive Zone Overlay District regulations shall prevail.
(Ord. No. 15-05, § 1, 4-28-2015)
The use classifications allowed in the Economic Incentive Zone Overlay District shall be those use classifications allowed in the underlying base zoning district.
(Ord. No. 15-05, § 1, 4-28-2015)
A.
The development standards for all development within the Economic Incentive Zone Overlay District shall be those standards of the underlying base zoning district.
B.
Exemptions. The city planner may administratively exempt the following projects from the underlying zoning district's development standards:
1.
Additions expanding existing structures by less than 35% of the gross floor area;
2.
Exterior or interior remodeling;
C.
Conditional Use Permits. Uses shown in the underlying base zoning district as requiring a conditional use permit may be permitted with a site plan review if the city planner administratively finds that the project is exempt from the California Environmental Quality Act.
D.
Undefined/Uses Not Permitted. Any use proposed in the Economic Incentive Zone Overlay District that is either undefined or not permitted in the underlying base zoning district, may be permitted with a conditional use permit if the planning commission adopts a resolution and specifically finds that the proposed use is:
1.
Consistent with the purposes of the Economic Incentive Zone Overlay District;
2.
Consistent with the general character of surrounding land uses;
3.
A specific type of commercial use that does not exist elsewhere in the city.
(Ord. No. 15-05, § 1, 4-28-2015)
A.
Any use proposed to be located within the Economic Incentive Zone Overlay District shall submit an application in accordance with the requirements of the underlying base zoning district, unless otherwise exempted herein.
B.
The city shall process all site plan review and conditional use permit development applications within the following time frames:
1.
Requirements for additional information shall be provided to the applicant within two days following the initial submittal of an application.
2.
Following the resubmittal by the applicant of any additional information required for a site plan review application, the city shall approve the site plan review within seven days.
3.
Following the resubmittal by the applicant of any additional information required for a conditional use permit, the city shall consider the application within forty-five (45) days.
(Ord. No. 15-05, § 1, 4-28-2015)
The following incentives shall be granted for projects approved in the Economic Incentive Zone Overlay District:
A.
Development Impact Fees—Projects with new or expanded structures less than two thousand (2,000) square feet. All new construction within the Economic Incentive Zone Overlay District where the new or expanded structure(s) is/are less than two thousand (2,000) square feet in floor area shall be entitled to a one hundred (100) percent waiver of development impact fees.
B.
Development Impact Fees—Projects with new or expanded structures greater than two thousand (2,000) square feet. All new construction within the Economic Incentive Zone Overlay District where the new or expanded structure(s) is/are greater than two thousand (2,000) square feet in floor area shall be entitled to a fifty (50) percent reduction in development impact fees.
C.
Development Impact Fees—City Council approval. For projects with new or expanded structures that are greater than ten thousand (10,000) square feet in floor area, the city council may, at its sole discretion, approve a reduction in development impact fees greater than fifty (50) percent.
D.
Application Fees. All projects proposed within the Economic Incentive Zone Overlay District shall be given a fifty (50) percent reduction for site plan review or conditional use permit application fees.
E.
Building Permits. The following incentive schedule shall apply for building permit fee waivers and reductions:
1.
Construction of less than two thousand (2,000) square feet shall be exempt from building permit fees.
2.
Construction of between two thousand one (2,001) square feet and five thousand (5,000) square feet shall receive a seventy-five (75) percent reduction in building permit fees.
3.
Construction of between five thousand one (5,001) and ten thousand (10,000) square feet shall receive a fifty (50) percent reduction in building permit fees.
4.
Construction greater than ten thousand (10,000) square feet shall receive a twenty-five (25) percent reduction in building permit fees.
F.
Development Agreements. The city council may alter any of the provisions of this section and grant less, greater, or other incentives through approval of a development agreement and upon finding that the approval of the development agreement will implement the purposes of the Economic Incentive Zone Overlay District.
(Ord. No. 15-05, § 1, 4-28-2015)
A.
Any parcel in the city that is zoned C-2 (community shopping center district) or C-3 (central business and shopping district), has a minimum lot area of fifteen thousand (15,000) square feet, and where a proposal for new development includes as the primary land use, a pharmacy, a grocery store, a financial institution, an automobile sales business, or a shopping center shall receive enhanced economic incentives as provided in Section 17.81.027.
B.
Proposed development which does meet the zoning, lot area, or land use requirements listed in Section 17.81.024(A), shall not be eligible for enhanced economic incentives as provided in Section 17.81.027.
(Ord. No. 18-02, § 2, 7-24-2018)
A.
The following definitions shall be used to determine uses eligible to receive enhanced economic incentives. Where a conflict occurs between this section and any other section of the Zoning Code, the definition herein shall prevail.
1.
Automobile Sales. A retail use that provides for new automobile sales conducted within a building or an open lot or both.
2.
Financial Services. A use that provides depository banking services to the public, such as banks, credit unions, or savings and loans. The establishment must be staffed by employees physically present on site. This definition does not include pay day loan establishments or other establishments whose principal business is not directly related to depository banking services.
3.
Grocery Store. A retail store selling food and associated small household items having a minimum gross floor area of fifteen thousand (15,000) square feet.
4.
Pharmacy. A retail store that dispenses prescription drugs and which sells, among other things, non-prescription medicines, health and beauty products, and associated sundry items, and having a minimum gross floor area of ten thousand (10,000) square feet.
5.
Shopping Center. A group of commercial establishments containing at least three individual business establishments, planned, developed, owned, and managed as a unit, providing common on-site parking areas, loading areas, driveways, and other shared facilities.
(Ord. No. 18-02, § 2, 7-24-2018)
A.
The development standards for all development within enhanced economic incentive areas shall be those standards of the underlying base zoning district.
B.
Site Plan Review. Uses proposed that meet all of the requirements of Section 17.81.024(A) shall be permitted with a site plan review.
C.
The city shall process all site plan review applications for uses within enhanced economic incentive areas in accordance with Section 17.81.022 of this chapter.
(Ord. No. 18-02, § 2, 7-24-2018)
A.
Development Impact Fees. All new construction within enhanced economic incentive areas shall receive an eighty (80) percent waiver of development impact fees.
B.
Application Fees. All projects proposed within enhanced economic incentive areas shall be exempt from site plan review application fees.
C.
Building Permits. All new construction within enhanced economic incentive areas shall receive a fifty (50) percent reduction in building permit fees.
D.
Development Agreements. The city council may alter any of the provisions of this section and grant less, greater, or other incentives through approval of a development agreement and upon finding that the approval of the development agreement will implement the purposes of the enhanced economic incentive areas.
(Ord. No. 18-02, § 2, 7-24-2018)
81 - ECONOMIC INCENTIVE ZONE OVERLAY DISTRICT
The purpose of the Economic Incentive Zone Overlay District is to provide an area within the city that is considered to be a high priority commercial development corridor in which proposed new development will contribute to economic vitality of the city and is eligible to receive various incentives.
(Ord. No. 15-05, § 1, 4-28-2015)
The Economic Incentive Zone Overlay District may exist with any underlying commercial zoning district and shall be shown on the city's official zone map by adding an "EIZ" to the zoning designation for properties shown in Section 17.81.012.
(Ord. No. 15-05, § 1, 4-28-2015)
The official map of the Economic Incentive Zone is hereby established, comprising the assessor's parcels illustrated within Exhibit "B."
(Ord. No. 15-05, § 1, 4-28-2015; Ord. No. 15-07, § 1, 6-9-2015)
Editor's note— A full list of applicable properties pursuant to Ordinance No. 15-07 is available from the city clerk upon request.
Where a conflict occurs between the Economic Incentive Zone Overlay District and any other section of the zoning code, the Economic Incentive Zone Overlay District regulations shall prevail.
(Ord. No. 15-05, § 1, 4-28-2015)
The use classifications allowed in the Economic Incentive Zone Overlay District shall be those use classifications allowed in the underlying base zoning district.
(Ord. No. 15-05, § 1, 4-28-2015)
A.
The development standards for all development within the Economic Incentive Zone Overlay District shall be those standards of the underlying base zoning district.
B.
Exemptions. The city planner may administratively exempt the following projects from the underlying zoning district's development standards:
1.
Additions expanding existing structures by less than 35% of the gross floor area;
2.
Exterior or interior remodeling;
C.
Conditional Use Permits. Uses shown in the underlying base zoning district as requiring a conditional use permit may be permitted with a site plan review if the city planner administratively finds that the project is exempt from the California Environmental Quality Act.
D.
Undefined/Uses Not Permitted. Any use proposed in the Economic Incentive Zone Overlay District that is either undefined or not permitted in the underlying base zoning district, may be permitted with a conditional use permit if the planning commission adopts a resolution and specifically finds that the proposed use is:
1.
Consistent with the purposes of the Economic Incentive Zone Overlay District;
2.
Consistent with the general character of surrounding land uses;
3.
A specific type of commercial use that does not exist elsewhere in the city.
(Ord. No. 15-05, § 1, 4-28-2015)
A.
Any use proposed to be located within the Economic Incentive Zone Overlay District shall submit an application in accordance with the requirements of the underlying base zoning district, unless otherwise exempted herein.
B.
The city shall process all site plan review and conditional use permit development applications within the following time frames:
1.
Requirements for additional information shall be provided to the applicant within two days following the initial submittal of an application.
2.
Following the resubmittal by the applicant of any additional information required for a site plan review application, the city shall approve the site plan review within seven days.
3.
Following the resubmittal by the applicant of any additional information required for a conditional use permit, the city shall consider the application within forty-five (45) days.
(Ord. No. 15-05, § 1, 4-28-2015)
The following incentives shall be granted for projects approved in the Economic Incentive Zone Overlay District:
A.
Development Impact Fees—Projects with new or expanded structures less than two thousand (2,000) square feet. All new construction within the Economic Incentive Zone Overlay District where the new or expanded structure(s) is/are less than two thousand (2,000) square feet in floor area shall be entitled to a one hundred (100) percent waiver of development impact fees.
B.
Development Impact Fees—Projects with new or expanded structures greater than two thousand (2,000) square feet. All new construction within the Economic Incentive Zone Overlay District where the new or expanded structure(s) is/are greater than two thousand (2,000) square feet in floor area shall be entitled to a fifty (50) percent reduction in development impact fees.
C.
Development Impact Fees—City Council approval. For projects with new or expanded structures that are greater than ten thousand (10,000) square feet in floor area, the city council may, at its sole discretion, approve a reduction in development impact fees greater than fifty (50) percent.
D.
Application Fees. All projects proposed within the Economic Incentive Zone Overlay District shall be given a fifty (50) percent reduction for site plan review or conditional use permit application fees.
E.
Building Permits. The following incentive schedule shall apply for building permit fee waivers and reductions:
1.
Construction of less than two thousand (2,000) square feet shall be exempt from building permit fees.
2.
Construction of between two thousand one (2,001) square feet and five thousand (5,000) square feet shall receive a seventy-five (75) percent reduction in building permit fees.
3.
Construction of between five thousand one (5,001) and ten thousand (10,000) square feet shall receive a fifty (50) percent reduction in building permit fees.
4.
Construction greater than ten thousand (10,000) square feet shall receive a twenty-five (25) percent reduction in building permit fees.
F.
Development Agreements. The city council may alter any of the provisions of this section and grant less, greater, or other incentives through approval of a development agreement and upon finding that the approval of the development agreement will implement the purposes of the Economic Incentive Zone Overlay District.
(Ord. No. 15-05, § 1, 4-28-2015)
A.
Any parcel in the city that is zoned C-2 (community shopping center district) or C-3 (central business and shopping district), has a minimum lot area of fifteen thousand (15,000) square feet, and where a proposal for new development includes as the primary land use, a pharmacy, a grocery store, a financial institution, an automobile sales business, or a shopping center shall receive enhanced economic incentives as provided in Section 17.81.027.
B.
Proposed development which does meet the zoning, lot area, or land use requirements listed in Section 17.81.024(A), shall not be eligible for enhanced economic incentives as provided in Section 17.81.027.
(Ord. No. 18-02, § 2, 7-24-2018)
A.
The following definitions shall be used to determine uses eligible to receive enhanced economic incentives. Where a conflict occurs between this section and any other section of the Zoning Code, the definition herein shall prevail.
1.
Automobile Sales. A retail use that provides for new automobile sales conducted within a building or an open lot or both.
2.
Financial Services. A use that provides depository banking services to the public, such as banks, credit unions, or savings and loans. The establishment must be staffed by employees physically present on site. This definition does not include pay day loan establishments or other establishments whose principal business is not directly related to depository banking services.
3.
Grocery Store. A retail store selling food and associated small household items having a minimum gross floor area of fifteen thousand (15,000) square feet.
4.
Pharmacy. A retail store that dispenses prescription drugs and which sells, among other things, non-prescription medicines, health and beauty products, and associated sundry items, and having a minimum gross floor area of ten thousand (10,000) square feet.
5.
Shopping Center. A group of commercial establishments containing at least three individual business establishments, planned, developed, owned, and managed as a unit, providing common on-site parking areas, loading areas, driveways, and other shared facilities.
(Ord. No. 18-02, § 2, 7-24-2018)
A.
The development standards for all development within enhanced economic incentive areas shall be those standards of the underlying base zoning district.
B.
Site Plan Review. Uses proposed that meet all of the requirements of Section 17.81.024(A) shall be permitted with a site plan review.
C.
The city shall process all site plan review applications for uses within enhanced economic incentive areas in accordance with Section 17.81.022 of this chapter.
(Ord. No. 18-02, § 2, 7-24-2018)
A.
Development Impact Fees. All new construction within enhanced economic incentive areas shall receive an eighty (80) percent waiver of development impact fees.
B.
Application Fees. All projects proposed within enhanced economic incentive areas shall be exempt from site plan review application fees.
C.
Building Permits. All new construction within enhanced economic incentive areas shall receive a fifty (50) percent reduction in building permit fees.
D.
Development Agreements. The city council may alter any of the provisions of this section and grant less, greater, or other incentives through approval of a development agreement and upon finding that the approval of the development agreement will implement the purposes of the enhanced economic incentive areas.
(Ord. No. 18-02, § 2, 7-24-2018)