ZONING DISTRICTS AND REGULATIONS
This section sets forth regulations that are common to all districts, or which apply to certain building types or uses that are found across multiple zoning districts. Resilience, Adaptation and Mitigation standards are the most prominent sections in this article but are also accompanied by other regulations that affect the quality of the public realm.
Eligible Development. These provisions are hereby adopted as voluntary zoning incentives for non-transient residential development. Where authorized in the underlying zoning district or overlay district, and in accordance with al applicable regulations set forth in such zoning district or overlay district, residential developments consisting solely of non-transient residential units and allowable accessory uses shall be eligible for applicable incentives set forth in such zoning district or overlay district, subject to the property owner's agreement to be bound by the following conditions:
Lodging Use Conversion and Prohibition. In order to be eligible for the residential use incentives, the property shall be required to fully vacate any and all existing transient uses including, but not limited to, bed & breakfast inn, hostel, hotel, apartent hotel, suite hotel or rooming house. Such transient uses shall be prohibited throughout the development and at all times, in order to maintain the residential use incentives authorized for the applicable zoning district or overlay district.
Short Term Rental Conversion and Prohibition. In order to be eligible for the voluntary residential use incentives authorized for the applicable zoning district or overlay district, the property owner(s) shall first be required to vacate any and all existing approvals for the short-term rental of any apartment units on the property.
Covenant. As a condition of eligibility for the voluntary residential use incentives authorized for the applicable zoning district or overlay district, the property owner(s) shall first be required to execute a restrictive covenant running with the land, in a form approved by the City Attorney, affirming that throughout the building and at all times, no residential units on the property shall be leased or rented for a period of less than six months and one day, and that no transient uses including, but not limited to, bed & breakfast inn, hostel, hotel, apartment hotel, suite hotel or rooming house, shall be permitted on the property. The covenant shall expressly provide that an affirmative vote of six-sevenths of all members of the city commission shall be required in order to release the covenant or to modify the covenant in such a manner as to impose a less stringent restriction after it is executed.
Certificate of Appropriateness. If the property is located within a local historic district or site, as a condition of eligibility for the voluntary residential use incentives authorized for the applicable zoning district or overlay district, the property owner(s) shall be required to retain, preserve and restore all contributing structures on the site, as may be required by the historic preservation board and subject to certificate of appropriateness approval in accordance with chapter 2, article VIII of the land development regulations of the city code.
There shall be no variances from the requirements of this section for eligible developments.
Where authorized in the underlying zoning district or overlay district, the following incentives shall be applicable to school developments, including colleges, elementary schools, high schools, kindergarten schools, middle schools, pre-schools, or universities, that are public schools or are designated by the Internal Revenue Service as tax-exempt pursuant to section 501( c)( 3) of the Internal Revenue Code.
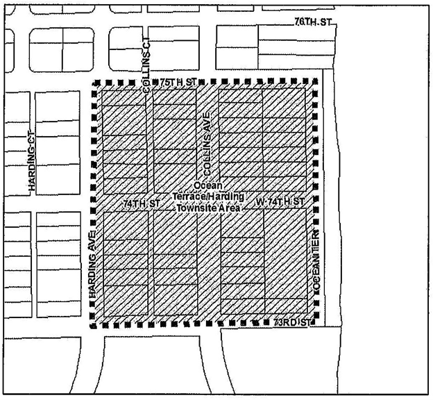
There is hereby created the North Beach Commercial Character Overlay District (the "overlay district"). The overlay district consists of the properties located to the north of 63rd Street, identified in the map below in this subsection (a). and the properties identified in the Ocean Terrace/Harding Townsite Area described in subsection (b) below: map 2024-4673 a
The Ocean Terrace/Harding Townsite Area is identified in the map below and is generally located between Harding Avenue to the west and Ocean Terrace to the east, between 73rd and 75th Streets:

The purpose of this overlay district is to limit the proliferation of uses which may diminish the character of historic commercial areas within the city. This overlay district is designed based on and intended to achieve the following:
The North Beach area of the City is located to the north of 63rd Street;
A large portion of the North Beach area is located within the North Shore National Register District and the Normandy Isles National Register District;
A large portion of the North Beach area is located within the locally designated Normandy Isles Historic District, North Shore Historic District, Harding Townsite Historic District, Altos Del Mar Historic District, and the North Beach Resort Historic District;
Properties fronting Ocean Terrace and Collins Avenue between 73rd and 75th Streets are within the Harding Townsite historic district and the North Shore National Register historic district;
Properties fronting Harding Avenue between 73rd and 75th Streets are within North Shore National Register historic district;
The City of Miami Beach has undertaken a master planning process for the North Beach area that includes the Harding Townsite historic district and North Shore National Register district, in order to encourage the revitalization of the area by improving cultural, retail, and dining experiences for residents and vistors to the area;
Formula commercial establishments and formula restaurants are establishments with multiple locations and standardized features or a recognizable appearance, where recognition is dependent upon the repetition of the same characteristics of one store in multiple locations;
Formula commercial establishments and formula restaurants are increasing in number within many historic districts;
The sameness of formula commercial establishments, while providing clear branding for retailers, conflicts with the city's Vision Statement which includes creating "A Unique Urban and Historic Environment";
Notwithstanding the marketability of a retailer's goods or services or the visual attractiveness of the storefront, the standardized architecture, color schemes, decor and signage of many formula commercial establishments detract from the distinctive character and aesthetics of the historic districts;
The increase of formula commercial establishments hampers the unique cultural, retail, and dining experience in commercial and mixed-use areas of the city's historic districts;
Specifically, the proliferation of formula commercial establishments may unduly limit or eliminate business establishment opportunities for unique businesses, thereby decreasing the diversity of cultural, retail, and dining services available to residents and visitors;
The homogenizing effect of formula commercial establishments, based on their reliance on standardized branding, increases if the size of the establishment, the number of locations or size or use of branded elements is greater;
The increased level of homogeneity detracts from the uniqueness of the City's historic districts, which thrive on a high level of interested maintained by a mix of cultural, retail, and dining experiences that are not found elsewhere in the country;
It is not the intent of the city to limit interstate commerce, but rather to maintain the historic character of neighborhoods and promote their unique cultural, retail, and dining experiences that are vital to the city's economy;
It is the intent of the city that if an establishment that has multiple locations and standardized features or a recognizable appearance seeks to locate within certian areas affected by this division that such establishment provide a distinct array of merchandise, facade, decor, color scheme, uniform apparel, signs, logos, trademarks, and service marks;
Convenience stores, pharmacy stores and formula eating establishments have similar impacts to the unique character of this important area of the city as formula stores;
Check cashing stores, pawnshops, souvenir and t-shirt shops, tattoo studios, fortune tellers (occult science establishments), massage therapy center, and package liquor stores are uses which negatively affect surrounding areas; and
It is the intent of the city to limit the number of establishments which may negatively affect surrounding areas.
The overlay regulations of this section shall apply to the following properties:
Lot 3, Block 80 of the Bay Garden Manor Condo, according to the plat thereof, recorded in PLat Book 6, Page 12, of the Public Records of Miami-Dade County.

b.Development Regulations - Underlying RM-3 Zoning
Notwithstanding the development regulations contained in Section 7.2.6, the following regulations shall govern proposed development within the boundaries of this overlay district on properties with an underlying zoning classification of RM-3. In the event of any conflict between the overlay regulations and the requirements of the Resiliency Code, these regulations shall control:
This section describes regulations that are intended to promote adaptation to rising sea levels, storm surge, king tide and fair-weather flooding.
| LOWER LEVELS OF A BUILDING DEFINITION’S TABLE |
|---|
| SUBTERRANEAN LEVEL (SL) |
Subterranean means that portion of a building or structure which is equal to or less than Grade.
|
| UNDERSTORY LEVEL (UL) |
Understory means the non-air-conditioned space(s) located below the First Habitable Level (FHL). Notwithstanding the foregoing access to the First Habitable Level (FHL) may be air-conditioned.
|
| RESIDENTIAL FIRST HABITABLE LEVEL (FHL) (NEW CONSTRUCTION) |
First Habitable Level above the Design Flood Elevation (DFE)
|
| NON-RESIDENTIAL FIRST HABITABLE LEVEL (FHL) |
Non-Residential First Habitable Level (FHL) First Habitable Level above the Future Crown of the Road (frontages of 150 feet or less) or
|
| SHORT FRONTAGE STANDARDS TABLE |
|---|
|
| Long Frontage Standards Table |
|---|
|
| MINIMUM AND MAXIMUM YARD ELEVATION REQUIREMENTS | ||||
|---|---|---|---|---|
| Minimum | Maximum | |||
| Front Yard | Future Adjusted Grade (1) (2) (4) | Base Flood Elevation (BFE) (1) (3) (4) | ||
| Side, Facing a street Yard | ||||
| Side, Interior Yard | Base Flood Elevation (BFE) (1) (3) | |||
| Rear Yard - Non Waterfront | ||||
| Rear Yard - Waterfront | Base Flood Elevation (BFE) plus maximum freeboard (1) (3) | |||
MINIMUM AND MAXIMUM YARD ELEVATIONS | ||||
| ||||
| RETAINING WALL REQUIREMENTS | |
|---|---|
| Maximum Height of Retaining Wall | |
| Front | 30 inches above sidewalk elevation, or adjacent grade if no sidewalk is present (1) (3) |
| Side, Facing a Street | |
| Side, Interior | At the property line, the maximum height of retaining walls shall not exceed BFE. (2) (3) |
| Rear | |
| |
| |
Whereas resilience and adaptation are the response to threats posed by climate change, environmental mitigation represents the strategies that reduce greenhouse gas emissions and ecological degradation that is often associated with the built environment.
Sustainable building practices will promote the economic and environmental health of the city, and ensure that the city continues to become environmentally resilient to combat sea level rise and help curb climate change. This chapter is designed to achieve the following objectives:
Mandatory compliance with the requirements of this section shall be required for all applicants with building permit applications that meet the following criteria (hereinafter "eligible participants"):
| CERTIFICATION COMPLIANCE SCHEDULE | |
| Level of Certification Achieved | Sustainability Fee Reimbursement to Participant for Meeting Certain Green Building Certification Levels |
| Failure to obtain Certification | 0% refund of bond or payment of Sustainability fee |
| LEED Certified | 50% refund of bond or payment of Sustainability fee |
| LEED Silver Certified | 66% refund of bond or payment of Sustainability fee |
| LEED Gold Certified or International Living Future Institute Petals or Net Zero Energy Certified | 100% refund of bond or payment of Sustainability fee |
| LEED Platinum Certified or International Living Future Institute Living Building Challenge Certified | 100% refund of bond or payment of Sustainability fee |
Deposit of funds; account.
The city has established a sustainability and resiliency fund. The revenue generated through the sustainability fee program shall be deposited in the sustainability and resiliency fund.
A walkable environment is created by unifying design of the public realm with private frontages that shape the public realm. There are a variety of frontage types, which vary depending on the zoning district and the uses at the eye-level of the pedestrian. This section illustrates how these frontages ought to be designed in order to accommodate future raising of the street.
| FRONTAGES STANDARDS TABLE | ||
|---|---|---|
| Buildings should provide cover for main entrances and doors that open onto the sidewalk, using at least one of the following: | ||
| Front Yard with Stoop or Porch. A stoop or porch is used only when the main entrance is used to access a residential unit or lobby and is not used for storefronts. A stoop or porch has a landing that is elevated above the sidewalk and above the crown of the roadway with stairs and/or ramps that access the sidewalk. It is often covered by a roof, eyebrow, or upper floor balcony. It may be combined with a recessed entrance. |
|
|
| Terrace/ Stoop. A terrace is a flat usable surface in front of the building, usually elevated above the sidewalk. In Miami Beach, the Terrace may be covered by upper floors, an eyebrow or be partially or wholly exposed to the sky. This feature can be seen in many of the Art Deco and Streamlined Moderne Era buildings, especially hotels. The terrace is often used for outdoor dining, seating and /or lounging. |
| ![]() |
| Forecourt. A forecourt is an open to the sky patio that faces the street, and from which building residents usually access their units. This often results in a ‘U’ shape or ‘parallel bar’ building configuration. This frontage type can be found in many of the multifamily buildings on Meridian Avenue and in other areas of Miami Beach. In some cases, as is typical in Normandy Isle and North Beach, the forecourt may be located towards the rear, facing Biscayne Bay or one of the Waterways, to maximize views of the water and in order to funnel breezes to the various units. |
|
|
| Awning. Awning is a structure that shelters the pedestrian with a canvass, cloth, or other membrane that is stretched over a frame and which extends across a storefront. An awning may shade the glazing of the storefront from harsh sunlight but also provides refuge from rain for customers and building occupants. An awning may be retractable and is considered less permanent than a marquis. Awnings may be found on Lincoln Road Mall, Washington Avenue, Española Way, and other areas where storefronts are abundant. |
|
|
| Marquis. Marquis is a rigid, permanent structure which extends from the building façade and shelters the main entrance. It is usually metallic and may be cantilevered or be partially or wholly supported by tension rods. A marquis often has signs or letters incorporated into the surface that is visible to the sidewalk. It is often used in theaters and entertainment venues but may also be used to shelter storefronts as an alternative to an Awning. |
|
|
| Eyebrow. Eyebrow is a masonry cantilevered element that shelters an entrance, storefront, window or portions of a wall. Eyebrows are associated with Art Deco, Streamlined Moderne, and Mid-century Modern Architecture of the 1930s, 1940s, and 1950s. An eyebrow may be used to shelter storefronts as an alternative to an awning or marquis and is considered more permanent and solid than either awning or marquis. |
|
|
| Balcony as Eyebrow. The main entrance or storefront may be sheltered by a cantilevered balcony extending from the floor above. In this case, an awning, marquis, or eyebrow would be redundant if the balcony provides sufficient shelter for the pedestrian or building occupant. |
| ![]() |
| Recessed entrance. A recessed entrance can maximize window display area in storefronts and may provide shelter from rain and sun. A recessed entrance may be used as an alternative to an awning, marquis, or eyebrow for storefronts. |
|
|
| Recessed entrance combined with awning, marquis, eyebrow or balcony as eyebrow. Recessed entrance combined with awning, marquis, eyebrow or balcony as eyebrow is used in order to maximize the shelter provided to customers and building occupants. |
|
|
| Gallery. A gallery is supported on posts and has a roof that extends from the building façade to shelter storefronts. Where permitted by public works department, a gallery may encroach upon the sidewalk or the front setback. |
|
|
| Arcade. An arcade is similar to a gallery, but it has thicker posts that support not a roof but rather upper floors that extend forward from the storefront in order to shelter it. Where allowed by the public works department, an arcade may encroach upon the sidewalk or front setback. |
|
|
| Dingbat. A building type and frontage in which the First Habitable Floor (FHL) is supported entirely upon a grid of columns, otherwise know as “pilotis”. Parking is often placed in the understory or area sheltered by the upper floors. Dingbat’s tend to create a lack of natural surveillance for pedestrians as they remove habitable space from pedestrians’ eye level. This building type was prevalent in the 1960s -1980s in Miami Beach. |
|
|
| Improved Dingbat. Buildings in which the First Habitable Floor (FHL) is located above a parking floor or understory, the lobby should line the parking/storage in the understory, thereby avoiding the appearance of a dingbat, and masking parking from the sidewalk. |
|
|
To encourage spaciousness within residential and hotel units while discouraging units sizes associated with transiency and short term rentals.
The following unit sizes shall apply. Where these units sizes are in conflict with those associated with a specific zoning district or overlay district, then those associated with the zoning district or overlay district shall prevail.
| UNIT SIZE TABLE | ||
|---|---|---|
| UNIT TYPE | MINIMUM UNIT SIZE (Square Feet) | MINIMUM AVERAGE UNIT SIZE (Square Feet) |
| Single Family Detached House | 1,800 SF (1) | N/A |
| Apartments/Multi-family Units | ||
New Construction | 550 SF | 800 SF (3) (4) |
Non-elderly and elderly low and moderate income housing | 400 SF | 400 SF (3) (4) |
Workforce Housing | 400 SF | 400 SF (3) (4) |
Rehabilitated Buildings | 400 SF | 550 SF (3) (4) |
| Lodging and Hotel Units | 335 SF + (2) | N/A |
| ||
By screening parking lots and garages, or by lining them with habitable space, pedestrian comfort, and safety as well as visual interest are optimized, contributing to the walkability of a district.
The playing or engaging in any game of cards, keno, roulette, faro, or other game of chance, at any place, by any device, whatever, for money or other thing of value, shall be considered to be "gambling." An establishment in which gambling occurs is a casino.
"Fantasy contest" shall include, but not be limited to, a fantasy or simulation sports game or contest in which contest participants manage a fantasy or simulation sports team for prizes or money in any gambling or casino use in the city.
Gambling and casinos are prohibited in the City of Miami Beach. Gambling and casino uses shall include all uses authorized pursuant to F.S. chs. 550 and 551, as may be amended from time to time: and "fantasy contests." as defined above. These uses are prohibited in any zoning category within the city, whether as a main, conditional, or accessory use. No business tax receipt shall issue for the aforementioned uses, which may also include, but not be limited to: any machine of chance (device) regulated by the state compact or F.S. chs. 550 and 551, as may be amended from time to time, pari-mutuel uses, horse racing, dog racing, jai alai, fantasy contests and associated gambling or casino related uses. The terms "gambling" and "casino" shall be provided the broadest definition despite any amendments the state legislature may make to the above referenced chapters of the Florida Statutes.
The following uses are exempt from the city's definition of gambling:
Any amendment to this section 7.1.8.1 (including the repealer thereof), which would create a less stringent regulation on gambling or any of the uses listed herein, shall require an affirmative vote of 6/7ths of the city commission.
The following definitions are applicable to this section:
Golf cart means a motor vehicle designed and manufactured for operation on a golf course for sporting or recreational purposes.
Low-speed vehicle means any four-wheeled vehicle whose top speed is greater than 20 miles per hour but not greater than 25 miles per hour, including, but not limited to, neighborhood electric vehicles.
Moped means any vehicle with pedals to permit propulsion by human power, having a seat or saddle for the use of the rider and designed to travel on not more than three wheels, with a motor rated not in excess of two brake horsepower and not capable of propelling the vehicle at a speed greater than 30 miles per hour on level ground and with a power-drive system that functions directly or automatically without clutching or shifting gears by the operator after the drive system is engaged. If an internal combustion engine is used, the displacement may not exceed 50 cubic centimeters. The term does not include an electric bicycle.
Motorcycle means any motor vehicle having a seat or saddle for the use of the rider and designed to travel on not more than three wheels in contact with the ground (including those vehicles commonly known as motor scooters). The term includes an autocycle, but does not include a tractor, a moped, an electric bicycle, or any vehicle in which the operator is enclosed by a cabin unless it meets the requirements set forth by the National Highway Traffic Safety Administration for a motorcycle.
Motorized bicycle means a bicycle propelled by a combination of human power and an electric helper motor capable of propelling the vehicle at a speed of not more than 20 miles per hour on level ground, having two tandem wheels, and including any device generally recognized as a motorized bicycle though equipped with two front or two rear wheels. The term does not include such a vehicle with a seat height of no more than 25 inches from the ground when the seat is adjusted to its highest position or a scooter or similar device.
Motorized scooter means any vehicle or micromobility device that is powered by a motor with or without a seat or saddle for the use of the rider, which is designed to travel on not more than three wheels, and which is not capable of propelling the vehicle at a speed greater than 20 miles per hour on level ground. The term does not include an electric bicycle.
The following shall apply to any proposal to increase the maximum allowable FAR within any zoning district.
Any ordinance subject to this Section 7.1.10 shall require a 3-step review process before the Planning Board, as follows:
Any ordinance subject to this section 7.1.10 shall require a 3-step review process before the City Commission, as follows:
The city commission, by an affirmative five-sevenths vote, may waive the requirements set forth in sections 7.1.10.1, 7.1.10.2, 7.1.10.3, and 7.1.10.4 for the following types of amendments:
If the city commission waives the requirements set forth in sections 7.1.10.1, 7.1.10.2, 7.1.10.3, and 7.1.10.4 the amendment shall otherwise be subject to the applicable notice and amendment provisions in chapter 2, article IV of the Land Development Regulations.
| Symbol | District |
|---|---|
| RS-1 | Single-family residential |
| RS-2 | Single-family residential |
| RS-3 | Single-family residential |
| RS-4 | Single-family residential |
| TH | Townhome residential |
| RM-1 | Residential multifamily, low intensity |
| RM-2 | Residential multifamily, medium intensity |
| RM-3 | Residential multifamily, high intensity |
| RM-PRD | Multifamily, planned residential development |
| RM-PRD 2 | Multifamily, planned residential development |
| RO | Residential/office |
| CD-1 | Commercial, low intensity |
| CD-2 | Commercial, medium intensity |
| CD-3 | Commercial, high intensity |
| MXE | Mixed use entertainment |
| TC-1 | North Beach Town Center core |
| TC-2 | North Beach Town Center mixed-use |
| TC-3 | North Beach Town Center residential/office |
| TC-C | North Beach Town Center-Central Core |
| R-PS1 | Residential medium-low density |
| R-PS2 | Residential medium density |
| R-PS3 | Residential medium-high density |
| R-PS4 | Residential high density |
| C-PS1 | Commercial limited mixed use |
| C-PS2 | Commercial general mixed use |
| C-PS3 | Commercial intensive mixed use |
| C-PS4 | Commercial intensive phased bayside |
| RM-PS1 | Residential mixed-use development |
| GU | Government use |
| CCC | Convention center district |
| SPE | Special public facilities educational |
| HD | Hospital district |
| MR | Marine recreational |
| WD-1 | Waterway district |
| WD-2 | Waterway district |
| GC | Golf course district |
| I-1 | Industrial, light |
The locations of the districts are shown on a map designated as the city zoning district map, dated and signed by the mayor and city clerk upon adoption. This zoning district map, together with all notations, dimensions, references and symbols shown thereon, pertaining to such districts, is hereby adopted by reference and declared to be as much a part of these land development regulations as if fully described herein. Such map shall be available for public inspection in the office of the planning, design and historic preservation division and any later alterations to this map, adopted by amendment as provided in these land development regulations, shall be similarly dated, filed, and made available for public reference.
A district name or symbol shown on the district map indicates that the regulations pertaining to the district designated by that name or letter-number combination extend throughout the whole area in the municipality bounded by the district boundary lines within which such name or symbol is shown or indicated, except as otherwise provided by this section. Where uncertainty exists with respect to the boundaries of the various districts as shown on the map accompanying and made a part of these land development regulations, the following rules apply:
The RS-1, RS-2, RS-3, RS-4 single-family residential districts are designed to protect and preserve the identity, image, environmental quality, privacy, attractive pedestrian streetscapes, and human scale and character of the single-family neighborhoods and to encourage and promote new construction that is compatible with the established neighborhood context. In order to safeguard the purpose and goals of the single-family districts, mandatory review criteria are hereby created to carry out the provisions of these land development regulations.
| USES TABLE (RS) | |
|---|---|
| RESIDENTIAL | |
| Single-family detached dwellings | P |
| Accessory Dwelling Unit | A* |
| LODGING | |
| OFFICE | |
| Home Based Business Office | A* |
| COMMERCIAL | |
| Commercial use of single-family home | Pro * |
| Gambling and Casinos pursuant to section 7.1.8 | Pro |
| Rentals or leases of mopeds, motorcycles, and motorized bicycles pursuant to section 7.1.8 | Pro |
| Neighborhood and Retail Fulfillment Centers pursuant to section 7.1.8 | Pro |
| CIVIC | |
| Religious Institution | C* |
| CIVIL SUPPORT | |
| EDUCATIONAL | |
| Day Care Facility | A* |
| INDUSTRIAL | |
| OTHER | |
| At-grade parking lot | C* |
Key P – Main Permitted Use C - Conditional Use A - Accessory Use Pro - Prohibited Use * See supplemental use regulations below | |
| DEVELOPMENT REGULATIONS TABLE (RS) | ||||||||
|---|---|---|---|---|---|---|---|---|
| RS-1 | RS-2 | RS-3 | RS-4 | |||||
| Maximum FAR | N/A | |||||||
Maximum Density (Dwelling Units per Acre) | 7 DUA | |||||||
| Minimum Unit Size (Square Feet) | 1,800 SF | |||||||
| Maximum Unit Size (% of Lot Area) | 50% | |||||||
| LOT OCCUPATION | RS-1 | RS-2 | RS-3 | RS-4 | ||||
| Minimum Lot Area (square feet) | 30,000 SF | 18,000 SF | 10,000 SF | 6,000 SF | ||||
| Minimum Lot Width (feet) | 100 feet (1) | 75 feet (1) | 50 feet - Oceanfront lots (1) 60 feet - All others (1) | 50 feet (1) | ||||
| Maximum Lot Coverage for a single-story Home (% of lot area) | 40% (2) | |||||||
| Maximum Lot Coverage for a 2story Home (% of lot area) | 30% | |||||||
| BUILDING SETBACKS | RS-1 | RS-2 | RS-3 | RS-4 | ||||
| Front Setback Ⓐ | 20 feet -1 Story Structure (5)(6) - provided that any future addition of a two-story attached structure shall be setback a minimum of 40 feet 30 feet - 2 Story Structures - (5)(6) | |||||||
| Side, facing a street Setback Ⓑ | 10% of the lot width or 15 feet, whichever is greater (5)(6) and the sum of the required side yards shall be at least 25% of the lot width | |||||||
| Side, Interior Setback Ⓒ Lots 65 feet in width or less | 7.5 feet and the sum of the required side yards shall be at least 25% of the lot width | |||||||
| Side, Interior Setback Ⓒ Lots greater than 65 feet in width | 10% of the lot width or 10 feet, whichever is greater and the sum of the required side yards shall be at least 25% of the lot width | |||||||
| Rear Setback Ⓓ | 15 % of the lot depth (6) 20 feet minimum 50 feet maximum | |||||||
| ||||||||
| BUILDING HEIGHT | RS-1 | RS-2 | RS-3 | RS-4 | ||||
| Maximum Height (stories) | 2 stories | |||||||
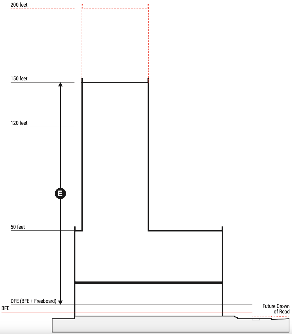
Maximum Height (feet) Ⓔ (3)(4) No Understory | 28 ft - flat roofs 31 ft – sloped roofs | 24 ft – flat roofs 27 feet – sloped roofs (4) | 24 ft – flat roofs 27 feet – sloped roofs | |||||
Maximum Height (feet) (3)(4) Understory Home | 31 feet - flat roofs 34 feet - sloped roofs (8) | 28 feet - flat roofs (7) 31 feet - sloped roofs (7)(8) | 28 feet - flat roofs 31 feet - sloped roofs | |||||
NO UNDERSTORY
WITH UNDERSTORY | ||||||||
(1). Except those lots fronting on a cul-de-sac or circular street as defined in lot width. (2). Single story homes shall follow the requirements of section 7.2.2.3.b.7.B. (3). Height shall be measured from the required base flood elevation for the lot, plus freeboard. (See Height of Building definition). Single story homes shall follow the requirements of section 7.2.2.3.b.7.B. (4). Height variances shall be prohibited. However, an additional three (3) feet in overall height, above the maximum permitted height above, may be approved by the Design Review Board (DRB) or Historic Preservation Board (HPB), in accordance with the applicable design review or appropriateness criteria. (5). If an Understory is not provided, at least 50 percent (50%) of the required front yard and side facing a street yard areas (including portions of the rear and front yards) shall be sodded or landscaped pervious open space. With the exception of driveways and paths leading to the building, paving may not extend any closer than 5 feet to the front of the building. When a pool is located in the side yard, facing a street the area of the water may count as part of the open space. Understory homes shall comply with the Understory Level Standards as outlined in subsection 7.2.2.3 (b)(6). In the event that an existing single-family home has an abutting street raised pursuant to an approved city project, and such home was previously permitted with less than 50 percent (50%) of the required front yard area consisting of sodded or landscaped pervious open space, such property may retain the most recent, previously permitted pervious open space configuration, provided the front yard is raised to meet the new street elevation. However, in no instance shall less than 30 percent (30%) of the required front yard be sodded or landscaped pervious open space. Notwithstanding the above, for homes issued a certificate of occupancy or certificate of completion prior to October 30, 2024, the addition of one accessible ramp/walkway, not to exceed five feet (5') in width, leading from the front or street side property line to the first habitable level, shall be an allowable exemption to the minimum 50% pervious open space requirement. (6). At least 70 percent (70%) of the required rear yard shall be sodded or landscaped pervious open space; the water portion of a swimming pool may count toward this requirement, when located above adjusted grade, the water portion of a swimming pool may count towards 50 percent of this requirement, provided adequate infrastructure is incorporated into the design of the pool to fully accommodate on-site stormwater retention. (7).For RS-3 zoned properties, with a minimum lot size of 18,000 square feet, the maximum height is increased to 31 feet for flat roofs and 34 feet for sloped roofs. (8). For single family homes utilizing an understory, if any portion of the home or any accessory structure utilizes a sloped roof, approval of the home by the DRB or HPB, as applicable, shall be required, regardless of building height. | ||||||||
| MINIMUM AND MAXIMUM YARD ELEVATION REQUIREMENTS (RS) | ||
|---|---|---|
| Minimum | Maximum | |
| Front Yard | Future Adjusted Grade (1) (2) (4) | Base Flood Elevation (BFE) (1) (3) (4) |
| Side, Facing a street Yard | ||
| Side, Interior Yard | Base Flood Elevation (BFE) (1) (3) (5) (6) | |
| Rear Yard - Non Waterfront | ||
| Rear Yard - Waterfront | Base Flood Elevation (BFE) plus maximum freeboard (1) (3) | |
| ||
MINIMUM AND MAXIMUM YARD ELEVATIONS | ||
(1). With the exception of driveways, walkways, transition areas, green infrastructure (e.g., vegetated swales, permeable pavement, rain gardens, and rainwater/stormwater capture and infiltration devices), and areas where existing landscaping is to be preserved, which may have a lower elevation. When in conflict with the maximum elevation requirements as outlined in this table, the minimum elevation requirements shall still apply. (2). The minimum yard elevation requirements shall not apply to existing structures or properties containing single-family homes individually designated as historic structures, or to properties with single-family homes designated as "contributing" within a local historic district. (3). In no instance shall the elevation of a required yard exceed DFE. (4). The maximum height of any fence(s) or wall(s) in the required front yard, shall be measured from existing grade. (5). When the average grade of an adjacent lot along the abutting side yard is equal or greater than adjusted grade, or when abutting a vacant property, the maximum elevation within the required side yard shall not exceed BFE plus 1 foot. (6). Notwithstanding the above, when abutting property owners have jointly agreed to a higher elevation, both side yards may be elevated to the same higher elevation through the submission of concurrent building permits, not to exceed the minimum required flood elevation. | ||
| RETAINING WALL REQUIREMENTS | |
|---|---|
| Maximum Height of Retaining Wall | |
| Front | 30 inches above sidewalk elevation, or adjacent grade if no sidewalk is present (1) (3) (4) |
| Side, Facing a Street | |
| Side, Interior | At the property line, the maximum height of retaining walls shall not exceed 3 feet above sidewalk elevation, or adjacent grade if no sidewalk is present. (2) (3) (4) |
| Rear | |
| |
(1). The maximum slope of the required front and side yard facing a street shall not exceed 11 percent (11%) (5:1 horizontal:vertical) (2). For properties in which the required yard elevation is greater than the yard elevation of the neighboring lot, either a retaining wall at the perimeter of the property or a slope of maximum (5:1 horizontal: vertical), or a combination of both, shall be provided. (See section 7.2.2.3.b.11.G) (3). Retaining walls shall be finished with stucco, stone, or other high quality materials, in accordance with the applicable design review or appropriateness criteria of section 7.2.2.3.b. (4). Retaining walls shall be consistent with the requirements for fences and walls in subsection 12.H. below. | |
| ACCESSORY BUILDING STANDARDS TABLE (RS) | |
|---|---|
| Maximum Lot Coverage (%) | 25% of the area of the required rear yard (1) |
| Size Calculations | The area of enclosed accessory buildings shall be included in the overall unit size calculation for the site. |
| ACCESSORY BUILDING SETBACKS | |
| Side facing a street Setback Ⓑ | |
1 Story Structures | 15 feet |
2 Story Structures | 15 feet |
| Side interior Setback Ⓒ | |
1 Story Structures | 7.5 feet |
2 Story Structures | 10 feet or the required side yard setback, whichever is greater |
| Rear Setback Ⓓ | |
1 Story Structures | 7.5 feet One-half (1/2) of the required rear setback - When facing a waterway |
2 Story Structures | 15 feet One-half (1/2) of the required rear setback or 15 feet, whichever is greater - When facing a waterway |
| Building Separation | |
| Building Separation Ⓕ Accessory buildings shall be separated from the main home by a minimum of 5 feet, open to the sky with no overhead connections. | |
| |
| ACCESSORY BUILDING HEIGHT | |
| Maximum Height (stories) | 2 stories |
| Maximum Height (feet) | |
1 story structure | 12 feet (2) (3) |
2 story structure | 20 feet (2) (3) |
(1). Accessory buildinng s that are not part of the main building, shall be included in the overall lot coverage calculations for the site and may be constructed in a rear yard, provided such accessory building (or accessory buildings) does not occupy more than 25 percent 25% of the area of the required rear yard. Areas enclosed by screen shall be included in the computation of area occupied in a required rear yard lot, but an open uncovered swimming pool shall not be included. (2). Height for accessory buildings shall be measured from the Base Flood Elevation (BFE) plus freeboard of 1 foot. (3). The allowable height exceptions set forth in section 7.5.2 shall not apply to accessory buildings in single-family districts. | |
| CARPORTS AND SOLAR CARPORTS STANDARDS TABLE (RS) | |||
|---|---|---|---|
| Maximum Carport and Solar Carport Size | 20 feet width 20 feet length | ||
| SETBACKS | Car Port | Solar Car Port | |
| Front Setback Ⓐ | 18 inches min (1) | 15 feet min (1) | |
| Side, Facing a Street Setback Ⓑ | 5 feet min (1) | ||
| Side, Interior Setback Ⓒ | 4 feet min | 4 feet min | |
| Rear Setback Ⓓ | 5 feet min (2) | 5 feet min (2) | |
CARPORT
| |||
| Minimum Height | 7 feet (Unobstructed view between grade and lower edge of the carport or solar carport) | ||
(1). Provided the carport or solar carport is attached to or immediately adjacent to the main building. When a carport or solar carport is detached and located more than 12 inches from the main home it shall not be located in the required front or side-facing-the-street yards. (2). The sides of the carport or solar carport that face the required rear yard may be permitted to align with the walls of the existing residence, provided the residence is located a minimum of 5 feet from the rear property line. | |||
| DRIVEWAY AND PARKING SPACES STANDARDS TABLE (RS) | ||
|---|---|---|
| Minimum Setback | ||
Front | 5 feet min (1) | |
Side, Facing a Street | 5 feet min (1) | |
Side, Interior | 4 feet min | |
Rear | 5 feet min | |
| ||
(1). Driveways and parking spaces parallel to the front property line. | ||
| FENCES, WALLS AND GATES STANDARDS TABLE (RS) | ||
|---|---|---|
| Maximum Height at the Front Yard Ⓐ | ||
At the property line | 5 feet, as measured from grade | |
Set back from the property line | 5 feet plus 1 foot for every 2 feet of setback up to a maximum of 7 feet, as measured from grade | |
| Maximum Height at the Side Facing a Street Yard, Waterway or Golf Course Ⓐ | ||
Side Facing a Street, Waterway or Golf Course Yard | 5 feet, as measured from grade (1) | |
| ||
| Maximum Height at the Side Interior and Rear Yards | ||
Side Interior Yard | 7 feet, as measured from grade Ⓑ 7 feet, as measured from future adjusted grade Ⓒ (1) (2) | |
Rear Yard | ||
| ||
(1). In the event that a property has approval to be improved at future adjusted grade, the overall height of fences, walls and gates may be measured from future adjusted grade, provided that the portion of such fences, walls or gates above 4 feet in height consists of open pickets with a minimum spacing of 3 inches, unless otherwise approved by the Design Review Board (DRB) or Historic Preservation Board (HPB), as applicable. (2). Pre-1966 exemption. Notwithstanding the above, for properties containing a pre-1966 architecturally significant home, where a substantial portion of the existing rear yard and/or side yard is located at least 12 inches above grade, the overall height of fences, walls and gates may be measured from the elevation of the existing yard, provided that the portion of such fences, walls or gates above 4 feet in height consists of open pickets with a minimum spacing of 3 inches, unless otherwise approved by the design review board or historic preservation board, as applicable. | ||
Walkways: Maximum 44 inches. May be increased to a maximum of 5 feet for those portions of walkways necessary to provide Americans with Disabilities Act (ADA)-required turn-around areas and spaces associated with doors and gates. Walkways in required yards may exceed these restrictions when approved through the design review or certificate of appropriateness procedure, as applicable, and pursuant to section 2.5.3, of this Code. Notwithstanding the foregoing, when required to accommodate ADA access to a single-family home in the RS district that was issued a certificate of occupancy or certificate of completion prior to October 30, 2024, or an existing contributing building within a local historic district, or National Register District, an ADA walkway and ramp may be located within a front street side or interior side yard, with no minimum setback, provided all of the following are adhered to:
Electric vehicle charging stations and fixtures, located immediately next to an off-street parking space, shall be permitted where driveways and parking spaces are located.
Electrical transformers and associated concrete pads, as required by Florida Power and Light (FPL) may be located up to the front or street side property line.
Planters, not to exceed 4 feet in height when measured from the finished floor of any floor of the primary structure.
| SWIMMING POOLS STANDARDS TABLE | ||
|---|---|---|
| SWIMMING POOL SETBACKS | ||
| To the swimming pool deck or platform, the exterior face of an infinity edge pool catch basin, or screen enclosure associated or not associated with a swimming pool. | To the water's edge of the swimming pool or to the waterline of the catch basin of an infinity edge pool. | |
| Front Setback Ⓐ | Principal building setback minimum | |
| Side facing a street Setback Ⓑ | 10 feet (1) | 11.5 feet |
| Side, Interior Setback Ⓒ | 7.5 feet (1) | 9 feet |
| Rear Setback Ⓓ | 6 feet (1) (2) (3) | 7.5 feet (2) |
| ||
(1). For properties containing a pre-1942 architecturally significant home, an individually designated historic home, or a contributing single-family home located in a local historic district, a 5 foot setback shall be required from the property line to the swimming pool, deck or platform, the exterior face of an infinity edge pool catch basin, or screen enclosure. (2). For oceanfront properties, the setback shall be measured from the old city bulkhead line. (3). Swimming pool decks may extend to the property line and be connected to a dock and its related decking when abutting upon any bay or canal. | ||
| ALTOS DEL MAR HISTORIC DISTRICT DEVELOPMENT REGULATIONS TABLE (RS) | ||||
|---|---|---|---|---|
| LOT OCCUPATION | RS-3 | RS-4 | ||
| Minimum Lot Width (feet) | 50 feet | |||
| Maximum Lot Width (feet) | 100 feet (two adjoining lots) (1) | |||
| RS-3 | RS-4 | |||
| Maximum Unit Size (square feet) | 4,700 SF for habitable major structures. 1,700 square feet for the understructure and nonhabitable major structures. An additional 600 square feet shall be allowed for the garage. | 3,250 SF No variances shall be granted with regard to the maximum square footage of structures. An additional 400 square feet shall be allowed for the garage. | ||
| Maximum Unit Size for two adjoining 50 foot lots (square feet) | 7,000 SF for habitable major structures. 3,400 square feet for the understructure and nonhabitable major structures. An additional 600 square feet shall be allowed for the garage. | 3,750 SF An additional 400 square feet shall be allowed for the garage. | ||
| BUILDING SETBACKS | RS-3 | RS-4 | ||
| Atlantic Way Setback Ⓐ | 12 feet - Up to 25 feet in building height 75 feet - Greater than 25 feet in height | 5 feet | ||
| Ocean Setback Ⓐ | 130 feet from Miami Beach Bulkhead Line for principal and accessory buildings - Up to 25 feet in building height 140 feet from the Miami Beach Bulkhead Line; - Greater than 25 feet in height: 80 feet from Miami Beach Bulkhead Line for pools, decks, and any other structures: 30 inches or less above grade. | N/A | ||
| Collins Avenue Setback Ⓐ | N/A | 20 feet (for principal and accessory buildings) | ||
| Side, facing a street Setback Ⓑ | 5 feet | |||
| Side, Interior Setback Ⓒ | 5 feet or 10% of lot width, whichever is greater. | |||
| ||||
| BUILDING HEIGHT Ⓔ | ||||
| RS-3 | RS-4 | |||
| Maximum Height (stories) | 3 | 2 | ||
| Maximum Height (feet) | 37 feet above grade (2)
| 25 feet above grade (2) | ||
RS-3 RS-4 | ||||
(1). No variance from this provision shall be granted. (2). The height regulation exceptions contained in section 7.5.2 shall not apply except chimneys and air vents are permitted. | ||||
| DEVELOPMENT REGULATIONS TABLE (For Development Consisting of 2 or More Platted Lots in the 40th Street Overlay) | |
| Maximum Unit Size (% of Lot Area) | 100% |
| Maximum Lot Coverage (% of lot area) | 50% |
| BUILDING SETBACKS | |
| Front Setback | 20 feet |
| Side, Facing a Street Setback | 5 feet |
| BUILDING HEIGHT | |
| Maximum Height (stories) | 3 stories |
| Maximum Height (feet) | 36 ft - flat roofs 39 ft - sloped roofs |
Religious institutions and standalone schools, in existing rehabilitated structures or new construction, shall be conditional uses, subject to regulations in section 2.5.2, conditional use procedure.
All new construction or additions to existing structures shall be compatible with the scale of the surrounding residential neighborhood and shall be designed to maintain a residential character, as determined by the planning director or designee, or the design review board, as applicable.
Permits for new construction, alterations or additions to existing structures shall be subject to design review by the planning director or designee. For those sites consisting of two or more platted lots, the review and approval of the design review board shall be required.
The following regulations shall apply to sites consisting of two or more platted lots:
Dormitories associated with religious institutions shall be a conditional use, subject to the regulations in section 2.5.2, conditional use procedure. Thwe number of individual dormitories shall not exceed an aggregate of 4 dormitory units per platted lot, and there shall be a maximum of up 4 beds in each dormitory unit.
Covered stairs and walkways shall be exempt from unit size and lot coverage calculations.
Roof top access and roof top uses shall not be permitted.
The overlay district shall be exempt from the following regulations applicable to the underlying zoning district:
Section 7.2.2.3(b)(2): Two Story Houses Standards.
Section 7.2.2.3(b)(3): Nonconforming yards, for developments consisting of two or mor platted lots.
7.2.2.3(b)(4): Limitation on contiguous lots, not to exceed three platted lots.
7.2.2.3(b)(7)A: The general statement shall not apply to the 40th Street Overlay District.
The TH townhome residential district is designed to accommodate townhome developments.
| USES TABLE (TH) | |
|---|---|
| RESIDENTIAL | |
| Single-family detached dwellings | P |
| Townhomes | P |
| LODGING | |
| OFFICE | |
| COMMERCIAL | |
| Retail | A * |
| Alcoholic beverage establishments | Pro * |
| Gambling and Casinos pursuant to section 7.1.8 | Pro |
| Rentals or leases of mopeds, motorcycles, and motorized bicycles pursuant to section 7.1.8 | Pro |
| Neighborhood and Retail Fulfillment Centers pursuant to section 7.1.8 | Pro |
| CIVIC | |
| CIVIL SUPPORT | |
| EDUCATIONAL | |
| INDUSTRIAL | |
| OTHER | |
Key P – Main Permitted Use C - Conditional Use A - Accessory Use Pro - Prohibited Use * See supplemental use regulations below | |
| DEVELOPMENT REGULATIONS TABLE (TH) | |
|---|---|
| Maximum FAR | 0.70 |
| Maximum Density (Dwelling Units Per Acre) | 30 DUA (80% bonus for workforce or affordable units) |
| MINIMUM UNIT SIZE (SQUARE FEET) | |
| Unit | 900 SF |
| MINIMUM AVERAGE UNIT SIZE (SQUARE FEET) | |
| Unit | N/A -The number of units may not exceed the maximum density set forth in thecomprehensive plan. |
| LOT OCCUPATION | |
| Minimum Lot Area (square feet) | 5,000 SF |
| Minimum Lot Width (feet) | 50 feet |
| Maximum Lot Coverage (% of lot area) | N/A |
| BUILDING SETBACKS | |
| Front Setback Ⓐ | 20 feet |
| Side, Facing a Street Setback Ⓑ | 15 feet |
| Side, Interior Setback Ⓒ | 7.5 feet (1) |
| Rear Setback Ⓓ | 20 feet |
| |
| BUILDING HEIGHT | |
| Maximum Height (feet) Ⓔ | 40 feet (except as provided in section 7.5.2) |
| |
All townhome projects shall be reviewed pursuant to the design review procedures as set forth in section 2.5.3.
a. Public-Private Parking Agreement.
In cases where the city commission approves after public hearing a public-private parking agreement for a neighborhood based upon an approved street improvement plan, the minimum front yard setback for parking subject to the agreement shall be 0 feet. The street improvement plan must be approved by the design review board if outside an historic district, or the historic preservation board if inside an historic district.
The RM-1 residential multifamily, low density district is designed for low intensity, low rise, single-family and multiple-family residences.
| USES TABLE (RM-1) | |
|---|---|
| RESIDENTIAL | |
| Single-family detached dwellings | P |
| Townhomes | P |
| Apartments | P |
| LODGING | |
| Apartment Hotels | Pro* |
| Hotels | Pro* |
| Suite Hotels | Pro* |
| Bed and Breakfast Inn | Pro* |
| Hostels | Pro* |
| OFFICE | |
| Administrative Offices | A* |
| COMMERCIAL | |
| Accessory Commercial Use | Pro* |
| Hall for Hire | Pro* |
| Restaurant serving alcoholic beverages | Pro* |
| Accessory outdoor bar counters | Pro* |
| Accessory outdoor open air entertainment establishment | Pro* |
| Entertainment establishment | Pro* |
| Retail | Pro* |
| Restaurants with or without accessory bars, and personal services | Pro* |
| Alcoholic beverage establishments | Pro * |
| Gambling and Casinos pursuant to section 7.1.8 | Pro* |
| Rentals or leases of mopeds, motorcycles, and motorized bicycles pursuant to section 7.1.8 | Pro* |
| Neighborhood and Retail Fulfillment Centers pursuant to section 7.1.8 | Pro* |
| CIVIC | |
| Religious Institutions with occupancy of 199 persons or less | C |
| Religious Institutions with occupancy of more than 199 persons | C |
| CIVIL SUPPORT | |
| Private and Public Institutions | C |
| Accessory neighborhood impact establishments | C* |
| EDUCATIONAL | |
| Day Care Facility | C |
| Schools | C |
| Family Day Care Center | A* |
| INDUSTRIAL | |
| OTHER | |
| Commercial or noncommercial parking lots and garages | C |
| Parking lots or garages | Pro* |
Key P – Main Permitted Use C - Conditional Use A - Accessory Use Pro - Prohibited Use * See supplemental use regulations below | |
a. The development regulations in the RM-1 residential multifamily, low density district are as follows:
| DEVELOPMENT REGULATIONS TABLE (RM-1) | |
|---|---|
| Maximum FAR | 1.25 |
west side of Collins Avenue between 76th and 79th Streets (MAP EXHIBIT-5) | 1.4 |
Public and private institutions: | 1.25 |
Public and private institutions: | 1.4 |
| Maximum Density (Dwelling Units per Acre) | 60 DUA (80% bonus for workforce or affordable units) |
| MINIMUM UNIT SIZE (SQUARE FEET) | |
| Single Family Detached House | 1,800 SF (4) |
| Apartments/Multi-family Units | |
New Construction | 550 SF |
Non-elderly and elderly low and moderate income housing | 400 SF |
Workforce Housing | 400 SF |
Rehabilitated Buildings | 400 SF |
| Lodging and Hotel Units | 335 SF + (5) |
Hotel units within rooftop additions to contributing structures in a historic district and individually designated historic buildings | 335 SF |
| MINIMUM AVERAGE UNIT SIZE (SQUARE FEET) | |
| Single Family Detached House | N/A |
| Apartments/Multi-family Units | |
New Construction | 800 SF (6)(7) |
Non-elderly and elderly low and moderate income housing | 400 SF (6)(7) |
Workforce Housing | 400 SF (6)(7) |
Rehabilitated Buildings | 550 SF (6)(7) |
| Lodging and Hotel Units | N/A |
| LOT OCCUPATION | |
| Minimum Lot Area (square feet) | 5,600 SF |
| Minimum Lot Width (feet) | N/A |
| Maximum Lot Coverage (% of lot area) | |
For lots equal to or greater than 65 feet in width | 45% (3) |
For lots less than 65 feet in width | N/A |
| BUILDING SETBACKS | |
| Front Setback Ⓐ | |
Subterranean | 20 feet 50 feet (For lots A and 1-30 of the Amended Plat Indian Beach Corporation Subdivision and lots 231-237 of the Amended Plat of First Ocean Front Subdivision) |
Pedestal | |
Tower | 20 feet + 1 foot for every 1 foot increase in height above the pedestal, to a maximum of 50 feet, then shall remain constant. 50 feet (For lots A and 1-30 of the Amended Plat Indian Beach Corporation Subdivision and lots 231-237 of the Amended Plat of First Ocean Front Subdivision) |
| Side, Facing a Street Setback Ⓑ Lots less than 65 feet in width | |
Subterranean | 7.5 feet |
Pedestal | |
Tower | 10 feet or 8% of lot width, whichever is greater, and Sum of the side yards shall equal 16% of the lot width |
| Side, Facing a Street Setback Ⓑ Lots equal or greater than 65 feet in width | |
Subterranean | 10 feet or 8% of lot width, whichever is greater, and sum of the side yards shall equal 16% of lot width |
Pedestal | |
Tower | |
| Side, Interior Setback Ⓒ Lots less than 65 feet in width | |
Subterranean | 7.5 feet (1) |
Pedestal | |
Tower | 7.5 feet plus 10% of the height of the tower portion of the building (1) 50 feet maximum |
| Side, Interior Setback Ⓒ Lots equal or greater than 65 feet in width | |
Subterranean | 10 feet or 8% of lot width, whichever is greater, and sum of the side yards shall equal 16% of lot width (1) |
Pedestal | |
Tower | 10 feet plus 10% of the height of the tower portion of the building. The total required setback shall not exceed 50 feet. (1) |
| Rear Setback Ⓓ | |
Subterranean | 10 % of lot depth (1) |
Pedestal | |
Tower | 15 % of lot depth (1) |
| |
| BUILDING HEIGHT | |
| Maximum Height Ⓔ | 50 feet |
For properties outside a local historic district with a ground level consisting of non-habitable parking and/or amenity uses | 55 feet |
Historic District | 40 feet |
Flamingo Park Local Historic District (MAP EXHIBIT-6) | 35 feet (2) |
For properties located north of Normandy Drive (MAP EXHIBIT-4) having a lot area greater than 30,000 square feet, which are individually designated as an historic site. | 80 feet |
| |
| |
b. Exterior building and lot standards (RM-1)
See section 7.1.2.3
c. Ground floor requirements (RM-1)
When parking or amenity areas are provided at the Understory Level below the first habitable level section 7.1.2.2.c shall apply.
e. Regulations for new construction (RM-1)
All floors of a building containing parking spaces shall follow Parking Screening Standards in section 7.1.6.
f. Lot aggregation (RM-1)
No more than two (2) contiguous lots may be aggregated for development purposes, with the exception of projects classified as affordable and/or workforce housing.
g. Public-Private Parking Agreement (RM-1)
In cases where the city commission approves after public hearing a public-private parking agreement for a neighborhood based upon an approved street improvement plan, the minimum front yard setback for parking subject to the agreement shall be 0 feet. The street improvement plan must be approved by the design review board if outside an historic district, or the historic preservation board if inside an historic district.
See section 7.3.8.
| DEVELOPMENT REGULATIONS (NORTH BEACH PRIVATE AND PUBLIC SCHOOL OVERLAY DISTRICT – RM-1) | |
| Minimum Developable Lot Area (Square Feet) | 5,000 SF |
| Minimum Developable Lot Width (Feet) | 50 feet |
| Maximum Developable Lot Width (Feet) | N/A |
| Maximum Developable Aggregation (Platted Lots) | Schools: Up to nine (9) lots may be aggregated |
| SETBACK REQUIREMENTS (NORTH BEACH PRIVATE AND PUBLIC SCHOOL OVERLAY DISTRICT – RM-1) | |
|---|---|
| Front | 10 feet |
| Side, Facing a Street | |
| Lot width of 60 feet or less | 5 feet (non-waterfront) |
| Lot width greater than 60 feet | 7.5 feet or 8% of lot width, whichever is greater (non-waterfront) |
| Side, Interior | 5 feet |
| Rear | 5 feet (non-waterfront) |
The RM-2 residential multifamily, medium intensity district is designed for medium intensity multiple-family residences.
| USES TABLE (RM-2) | ||
|---|---|---|
| RESIDENTIAL | ||
| Single-family detached dwellings | P | |
| Townhomes | P | |
| Apartments | P | |
| LODGING | ||
| Apartment Hotels | P* Pro* | |
| Hotels | P* Pro* | |
| Suite Hotels | P* | |
| Hostels | Pro* | |
| OFFICE | ||
| Offices | P* A* | |
| Non-medical office uses | C* | |
| COMMERCIAL | ||
| Accessory Commercial Use | A* | |
| Hall for Hire | C* | |
| Personal service uses | C* | |
| Restaurants, cafes and/or eating and drinking establishments, which include entertainment | C* A* | |
| Retail Uses | A* | |
| Outdoor bar counters | C* A* | |
| Alcoholic beverage establishments | A* | |
| Accessory outdoor entertainment establishment | Pro* | |
| Accessory open air entertainment establishment | Pro* | |
| Entertainment establishment | Pro* C* A* | |
| Accessory outdoor bar counter | Pro* | |
| Health Clubs | A* | |
| Gambling and Casinos pursuant to section 7.1.8 | Pro | |
| Rentals or leases of mopeds, motorcycles, and motorized bicycles pursuant to section 7.1.8 | Pro | |
| Neighborhood and Retail Fulfillment Centers pursuant to section 7.1.8 | Pro | |
| CIVIC | ||
| Stand-alone religious Institutions | C | |
| Religious Institutions with occupancy of 199 persons or less | C | |
| CIVIL SUPPORT | ||
| Private and Public Institutions | C | |
| Accessory neighborhood impact establishments | C* | |
| EDUCATIONAL | ||
| Day Care Facility | C | |
| Schools | C | |
| Family Day Care Centers | A* | |
| INDUSTRIAL | ||
| OTHER | ||
| Commercial or noncommercial parking lots and garages | C | |
Key | ||
| DEVELOPMENT REGULATIONS TABLE (RM-2) | ||
|---|---|---|
| Maximum FAR | 2.0 | |
| Maximum Density (Dwelling Units Per Acre) | 100 DUA (80% bonus for workforce or affordable units) | |
| MINIMUM UNIT SIZE (SQUARE FEET) | ||
| Single Family Detached House | 1,800 SF (2) | |
| Apartments/Multi-family Units | ||
New Construction | 550 SF | |
Non-elderly and elderly low and moderate income housing | 400 SF | |
Workforce Housing | 400 SF | |
Rehabilitated Buildings | 400 SF | |
| Lodging and Hotel Units | 335 SF + (3) | |
For hotel structures located within the Collins Park District generally bounded by the erosion control line on the east, the east side of Washington Avenue on the west, 23rd Street on the north, and 17th Street on the south (MAP EXHIBIT-11) | 335 SF | |
Hotel units within rooftop additions to contributing structures in a historic district and individually designated historic buildings | 335 SF | |
| MINIMUM AVERAGE UNIT SIZE (SQUARE FEET) | ||
| Single Family Detached House | N/A | |
| Apartments/Multi-family Units | ||
New Construction | 800 SF (4)(5) | |
Non-elderly and elderly low and moderate income housing | 400 SF (4)(5) | |
Workforce Housing | 400 SF (4)(5) | |
Rehabilitated Buildings | 550 SF (4)(5) | |
| Lodging and Hotel Units | N/A | |
| LOT OCCUPATION | ||
| Minimum Lot Area (square feet) | 7,000 SF | |
| Minimum Lot Width (feet) | 50 feet | |
| Maximum Lot Coverage (%) | N/A | |
| BUILDING SETBACKS | ||
| Front Setback Ⓐ | OCEANFRONT | NON-OCEANFRONT |
Subterranean | 20 feet | |
Pedestal | ||
Tower | 20 feet + 1 foot for every 1 foot increase in height above 50 feet, to a maximum of 50 feet, then shall remain constant. | |
| Side, Facing a Street Setback Ⓑ Lots less than 65 feet in width | OCEANFRONT | NON-OCEANFRONT |
Subterranean | 7.5 feet | |
Pedestal | ||
Tower | 10 feet or 8% of lot width, whichever is greater, and the minimum sum of the side yards shall equal 16% of lot width. | |
| Side, Facing a Street Setback Ⓑ Lots equal or greater than 65 feet in width | OCEANFRONT | NON-OCEANFRONT |
Subterranean | 10 feet or 8% of lot width, whichever is greater, and the minimum sum of the side yards shall equal 16% of lot width. | |
Pedestal | ||
Tower | ||
| Side, Interior Setback Ⓒ Lots less than 65 feet in width | OCEANFRONT | NON-OCEANFRONT |
Subterranean | 7.5 feet (1) | |
Pedestal Up to 60 feet in height | ||
Tower above 60 feet in height | 7.5 feet plus 10% of the height of the tower portion of the building. (1) 50 feet maximum | |
| Side, Interior Setback Ⓒ Lots equal or greater than 65 feet in width | OCEANFRONT | NON-OCEANFRONT |
Subterranean | 10 feet or 8% of lot width, whichever is greater, and the minimum sum of the side yards shall equal 16% of lot width. (1) | |
Pedestal Up to 60 feet in height | ||
Tower | The required pedestal setback plus 10% of the height of the tower portion of the building. (1) 50 feet maximum. | |
| Rear Setback Ⓓ | OCEANFRONT | NON-OCEANFRONT |
Subterranean | 10% of lot depth (1) | |
Pedestal | 20 % of lot depth, 50 feet from the bulkhead line whichever is greater (1) | |
Tower | 25% of lot depth, 75 feet minimum from the bulkhead line whichever is greater (1) | 15% of lot depth (1) |
| ||
| BUILDING HEIGHT | ||
| Maximum Height Ⓔ | 60 feet | |
Historic district (except as provided in section 7.5.2) (MAP EXHIBIT-7) | 50 feet | |
Area bounded by Indian Creek Dr., Collins Ave., 26th St., and 44th St. (MAP EXHIBIT-8) | 75 feet | |
Area fronting west side of Collins Ave. between 76th St. and 79th St. | 75 feet | |
Area fronting west side of Alton Rd. between Arthur Godfrey Rd. and W. 34th St. (MAP EXHIBIT-9) | 85 feet | |
For properties outside a local historic district with a ground level consisting of non-habitable parking and/or amenity uses | 65 feet | |
Lots fronting Biscayne Bay less than 45,000 square feet | 100 feet | |
Lots fronting Biscayne Bay over 45,000 square feet | 140 feet | |
Lots fronting Atlantic Ocean over 100,000 square feet. | 140 feet | |
Lots fronting Atlantic Ocean with a property line within 250 feet of North Shore Open Space Park Boundary (MAP EXHIBIT-10) | 200 feet | |
| ||
| ||
In the RM-2, residential district, all floors of a building containing parking spaces shall comply with section 7.1.6.
a. For properties that front the west side of Alton Road and the Julia Tuttle Causeway (RM-2)
The following regulations shall apply to properties that front the west side of Alton Road and that front 41st Street/Interstate 195 (MAP EXHIBIT-12). In the event of a conflict within this division, the following regulations shall control:
1. The setback requirements shall be as follows:
| SETBACK REQUIREMENTS - PROPERTIES THAT FRONT THE WEST SIDE OF ALTON ROAD AND THE JULIA TUTTLE CASEWAY (RM-2) | |
|---|---|
| Front Setback | N/A |
| Side, facing a street Setback | N/A |
| Interior Side Setback | |
Pedestal | 10 feet (1) |
Tower | 15 feet (1) |
| Rear Setback | |
Pedestal | 10 feet (1) |
Tower | 15 feet (1) |
| |
2. The regulations for new construction provided in section 7.2.5.3.b shall only apply to the eastern frontage of a building, along Alton Road. However, the requirement provided in section 7.1.6.2.b.1. for the eastern frontage along Alton Road shall not apply to a structure that is set back 50 feet or more from Alton Road.
The regulations set forth in this section shall only apply to those properties that are larger than 60,000 square feet in size as of the effective date of the ordinance codified in this section.
| DEVELOPMENT REGULATIONS TABLE: | |
| Maximum FAR | 2.3 |
| BUILDING HEIGHT | |
| Maximum Height | 75 |
| Historic District | 65 |
| For properties outside a local historic district with a ground level consisting of non-habitable parking and/or amenity uses | 80 |
The RM-3 residential multifamily, high intensity district is designed for high intensity multiple-family residences and hotels.
| USES TABLE (RM-3) | |
|---|---|
| RESIDENTIAL | |
| Single-family detached dwellings | P |
| Townhomes | P |
| Apartments | P |
| LODGING | |
| Apartment Hotels | P |
| Hotels | P* |
| Suite Hotels | P* |
| Hostels | P* Pro* |
| OFFICE | |
| Office | A* |
| COMMERCIAL | |
| Commercial | A* |
| Eating or drinking uses | A* |
| Retail | A* |
| Personal service establishment | A* |
| Alcoholic beverage establishments | A* |
| Kennel | A* |
| Accessory outdoor entertainment establishment | C |
| Accessory open air entertainment establishment | C* |
| Accessory outdoor bar counter | A* Pro* |
| Health Clubs | A* |
| Gambling and Casinos pursuant to section 7.1.8 | Pro |
| Rentals or leases of mopeds, motorcycles, and motorized bicycles pursuant to section 7.1.8 | Pro |
| Neighborhood and Retail Fulfillment Centers pursuant to section 7.1.8 | Pro |
| CIVIC | |
| Stand-alone religious institutions | C |
| Religious Institutions with occupancy of 199 persons or less | C |
| CIVIL SUPPORT | |
| Private and Public Institutions | C |
| Accessory neighborhood impact establishments | C |
| EDUCATIONAL | |
| Day Care Facility | C |
| Schools | C P* |
| Family Day Care Facility | A* |
| INDUSTRIAL | |
| OTHER | |
| Commercial or noncommercial parking lots and garages | C |
| Key P - Main Permitted Use C - Conditional Use A - Accessory Use Pro - Prohibited Use * See Supplemental use regulations below | |
Applications for a vested rights determination shall be made in writing and filed with the city manager, city attorney, and city clerk.
| DEVELOPMENT REGULATIONS TABLE (RM-3) | ||
|---|---|---|
| Maximum FAR | ||
Lot area equal to or less than 45,000 square feet | 2.25 (1) (2) | |
Lot area greater than 45,000 square feet | 2.75 (1) (2) | |
Oceanfront lots with lot area greater than 45,000 square feet | 3.0 (1) (2) (11) (12) | |
| Maximum Density (Dwelling Units per acre) | 150 DUA (80% bonus for workforce or affordable units) (11) | |
| MINIMUM UNIT SIZE (SQUARE FEET) | ||
| Single Family Detached House | 1,800 SF (7) | |
| Apartments/Multi-family Units | ||
New Construction | 550 SF | |
Non-elderly and elderly low and moderate income housing | 400 SF | |
Workforce Housing | 400 SF | |
Rehabilitated Buildings | 400 SF | |
| Lodging and Hotel Units | 335 SF + (8) | |
Hotel units within rooftop additions to contributing structures in a historic district and individually designated historic buildings | 335 SF | |
| MINIMUM AVERAGE UNIT SIZE (SQUARE FEET) | ||
| Single Family Detached House | N/A | |
| Apartments/Multi-family Units | ||
New Construction | 800 SF (9)(10) | |
Non-elderly and elderly low and moderate income housing | 400 SF (9)(10) | |
Workforce Housing | 400 SF (9)(10) | |
Rehabilitated Buildings | 550 SF (9)(10) | |
| Lodging and Hotel Units | N/A | |
| LOT OCCUPATION | ||
| Minimum Lot Area (square feet) | 7,000 SF | |
| Minimum Lot Width (feet) | 50 feet | |
| Maximum Lot Coverage (%) | N/A | |
| BUILDING SETBACKS | ||
| Front Setback Ⓐ | OCEANFRONT | NON-OCEANFRONT |
Subterranean | 20 feet 50 feet (For lots A and 1-30 of the Amended Plat Indian Beach Corporation Subdivision and lots 231-237 of the Amended Plat of First Ocean Front Subdivision) (MAP EXHIBIT-4) (11) | |
Pedestal | ||
Tower | 20 feet + 1 foot for every 1 foot increase in height above 50 feet, to a maximum of 50 feet, then shall remain constant. 50 feet (For lots A and 1-30 of the Amended Plat Indian Beach Corporation Subdivision and lots 231-237 of the Amended Plat of First Ocean Front Subdivision) (MAP EXHIBIT-4) (11) | |
| Side, Facing a Street Setback Ⓑ | OCEANFRONT | NON-OCEANFRONT |
Subterranean | 7.5 feet or 8% of lot width, whichever is greater Sum of the side yards shall equal 16% of lot width Minimum (11) | |
Pedestal | ||
Tower | ||
| Side, Interior Setback Ⓒ | OCEANFRONT | NON-OCEANFRONT |
Subterranean | 7.5 feet or 8% of lot width, whichever is greater Sum of the side yards shall equal 16% of lot width Minimum (4)(11) | |
Pedestal | ||
Tower | The required pedestal setback plus 10% of the height of the tower portion of the building. The total required setback shall not exceed 50 feet. (4)(11) | |
| Rear Setback Ⓓ | OCEANFRONT | NON-OCEANFRONT |
Subterranean | 20% of lot depth or 50 feet from the bulkhead line whichever is greater. (4)(11) | 10% of lot depth (4) |
Pedestal | ||
Tower | 25% of lot depth or 75 feet minimum from the bulkhead line whichever is greater. (4)(11) | 15% of lot depth (4) |
| ||
| BUILDING HEIGHT | ||
| Maximum Height Ⓔ | 150 feet (5) (6) | |
Oceanfront lots | 200 feet north of 23rd Street; 150 feet south of 23rd Street | |
Architectural district, New Construction | 120 feet (5)(11) | |
Ground floor additions (whether attached or detached) to existing structures on oceanfront lots | 50 feet (3)(11) | |
| ||
(1) Notwithstanding the above, oceanfront lots in architectural district shall have a maximum FAR of 2.0 (2) Notwithstanding the above, lots which, as of the effective date of this ordinance (November 14, 1998), are oceanfront lots with a lot area greater than 100,000 square feet with an existing building, shall have a maximum FAR of 3.0; however, additional FAR shall be available for the sole purpose of providing hotel amenities as follows: the lesser of 0.15 FAR or 20,000 square feet. (3) Except as provided in section 7.5.2. (4) Notwithstanding the foregoing, rooftop additions to contributing structures in a historic district and individually designated historic district buildings may follow existing nonconforming side, interior pedestal setbacks. (5) Notwithstanding the above, oceanfront lots located in the Miami Beach Architectural District shall be permitted to construct detached additions at a height not to exceed 25 feet and shall have setback requirements as follows:
(6) In the Morris Lapidus/Mid-20th Century Historic District the following shall apply: Roof-top additions, whether attached or detached, may follow the established lines of the interior side setbacks of the existing structure on the site, subject to the review of the historic preservation board. (7) Excluding Accessory Building. (8) For contributing hotel structures, located within an individual historic site, a local historic district or a national register district, which are renovated in accordance with the Secretary of the Interior Standards and Guidelines for the Rehabilitation of Historic Structures as amended, retaining the existing room configuration and sizes of at least 200 square feet shall be permitted. Additionally, the existing room configurations for the above described hotel structures may be modified to address applicable life-safety and accessibility regulations, provided the 200 square feet minimum unit size is maintained, and provided the maximum occupancy per hotel room does not exceed 4 persons. (9) The number of units may not exceed the maximum density set forth in the comprehensive plan. (10) See section 7.1.5.2 for eligibility for average unit size exception. (11) See section 7.3.11 North Beach Oceanfront Overlay regulations. (12) See section 7.3.12, establishing the Alton Beach Overlay regulations. | ||
In the RM-3, residential district, all floors of a building containing parking spaces shall comply with section 7.1.6
| DEVELOPMENT REGULATIONS TABLE | |
| Maximum FAR | |
| Lot area equal to or less than 45,000 square feet | 2.6 |
| Lot area greater than 45,000 square feet | 3.2 |
| Oceanfront lots with lot area greater than 45,000 square feet | 3.5 |
| BUILDING HEIGHT | |
| Maximum Height | 170 |
| Oceanfront Lots | 220 |
| Ground floor additions (whether attached or detached) to existing structures on oceanfront lots | 60 |
The RM-PRD multifamily, planned residential development district is designed for new construction of low intensity multiple-family planned residential development.
| USES TABLE (RM-PRD) | |
|---|---|
| RESIDENTIAL | |
| Single-family detached dwellings | P |
| Townhomes | P |
| Apartments | P |
| LODGING | |
| OFFICE | |
| Office | A* |
| COMMERCIAL | |
| Accessory Commercial Use | A* |
| The sale of alcoholic beverages as an accessory use to a dining facility within apartment buildings | A* |
| Health Clubs | A* |
| Alcoholic beverage establishments | Pro* |
| Gambling and Casinos pursuant to section 7.1.8 | Pro |
| Rentals or leases of mopeds, motorcycles, and motorized bicycles pursuant to section 7.1.8 | Pro |
| Neighborhood and Retail Fulfillment Centers pursuant to section 7.1.8 | Pro |
| CIVIC | |
| CIVIL SUPPORT | |
| Family Day Care Facility | A |
| EDUCATIONAL | |
| OTHER | |
Key P – Main Permitted Use C - Conditional Use A - Accessory Use Pro - Prohibited Use * See Supplemental use regulations below | |
| BUILDING STANDARDS TABLE (RM-PRD) | ||
|---|---|---|
| Maximum FAR | 1.6 | |
| Maximum Density (Dwelling Units per Acre) | 25 DUA (80% bonus for workforce or affordable units) | |
| MINIMUM UNIT SIZE (SQUARE FEET) | ||
| New Construction | 750 SF | |
| MINIMUM AVERAGE UNIT SIZE (SQUARE FEET) | ||
| New Construction | N/A (2) | |
| LOT OCCUPATION | ||
| Minimum Lot Area (acres) | 10 | |
| Minimum Lot Width (feet) | N/A | |
| Maximum Lot Coverage (% of lot area) | N/A | |
| BUILDING SETBACKS For lots over 10 acres that are contiguous to Government Cut and/or the Atlantic Ocean on at least two sides. (No variances shall be permitted from this section) | ||
| Front Setback Ⓐ | ||
Subterranean | 20 feet | |
Pedestal | ||
Tower | ||
| Side, Oceanfront Setback Ⓑ | ||
Subterranean | 50 feet from mean high water line | |
Pedestal | ||
Tower | ||
| Side, interior Setback Ⓒ | ||
Subterranean | 15 feet (1) | |
Pedestal | ||
Tower | ||
| Rear Setback Ⓓ | ||
Subterranean | 50 feet (1) | |
Pedestal | ||
Tower | ||
| ||
| BUILDING SETBACKS For all other lots a lots, development shall meet the residential setback requirements as follows | ||
| Front Setback Ⓐ | OCEANFRONT | NON-OCEANFRONT |
Subterranean | 20 feet | |
Pedestal | 20 feet 50 feet (For lots A and 1-30 of the Amended Plat Indian Beach Corporation Subdivision and lots 231-237 of the Amended Plat of First Ocean Front Subdivision) (MAP EXHIBIT-4) (11) | |
Tower | 20 feet + 1 foot for every 1 foot increase in height above 50 feet, to a maximum of 50 feet, then shall remain constant. 50 feet (For lots A and 1-30 of the Amended Plat Indian Beach Corporation Subdivision and lots 231-237 of the Amended Plat of First Ocean Front Subdivision) (MAP EXHIBIT-4) (11) | |
| Side, Facing a Street Setback Ⓑ | OCEANFRONT | NON-OCEANFRONT |
Subterranean | 5 feet or 5% of lot width, whichever is greater | |
Pedestal | 7.5 feet or 8% of lot width, whichever is greater And Sum of the side yards shall equal 16% of lot width Minimum (11) | |
Tower | ||
| Side, Interior Setback Ⓒ | OCEANFRONT | NON-OCEANFRONT |
Subterranean | 5 feet, or 5% of lot width, whichever is greater 0 feet - If lot width is 50 feet or less | |
Pedestal | 7.5 feet min or 8% of lot width, whichever is greater And Sum of the side yards shall equal 16% of lot width | |
Tower | The required pedestal setback plus 0.10 of the height of the tower portion of the building 50 feet maximum And Sum of the side yards shall equal 16% of lot width | |
| Rear Setback Ⓓ | OCEANFRONT | NON-OCEANFRONT |
Subterranean | 50 feet from bulkhead line | 0 feet |
Pedestal | 20% of lot depth, 50 feet from the bulkhead line whichever is greater | 10% of lot depth |
Tower | 25% of lot depth, 75 feet minimum from the bulkhead line whichever is greater | 15% of lot depth |
| ||
| BUILDING HEIGHT | ||
| Maximum Height Ⓔ | 120 feet | |
| ||
| ||
This district is designed to provide for low intensity multiple-family planned residential development, with limited accessory commercial use.
| USES TABLE (RM-PRD-2) | |
|---|---|
| RESIDENTIAL | |
| Single-family detached dwellings | P* |
| Townhomes | P* |
| Apartments | P |
| LODGING | |
| OFFICE | |
| Professional offices | A* |
| COMMERCIAL | |
| Ground floor retail uses | A* |
| Ground floor commercial uses | A* |
| Health Clubs | A* |
| Alcoholic beverage establishments | Pro |
| Gambling and Casinos pursuant to section 7.1.8 | Pro |
| Rentals or leases of mopeds, motorcycles, and motorized bicycles pursuant to section 7.1.8 | Pro |
| Neighborhood and Retail Fulfillment Centers pursuant to section 7.1.8 | Pro |
| CIVIC | |
| CIVIL SUPPORT | |
| EDUCATIONAL | |
| Family day care faclity | A* |
| INDUSTRIAL | |
| OTHER | |
Key P – Main Permitted Use C - Conditional Use A - Accessory Use Pro - Prohibited Use * See Supplemental use regulations below | |
| DEVELOPMENT REGULATIONS TABLE (RM-PRD-2) | ||
|---|---|---|
| Maximum FAR | 1.45 | |
| Maximum number of total dwelling units within St. Francis Hospital Site | 180 | |
| Maximum Density (Dwelling Units per Acre) | 25 DUA (80% bonus for workforce or affordable units) | |
| MINIMUM UNIT SIZE (SQUARE FEET) | ||
| Townhomes | 1,600 SF | |
| Apartments | 1,000 SF | |
| MINIMUM AVERAGE UNIT SIZE (SQUARE FEET) | ||
| Townhomes | N/A (7) | |
| Apartments | N/A (7) | |
| LOT OCCUPATION | ||
| Minimum Lot Area (Acres) | 7 Acres | |
| Minimum Lot Width (feet) | ||
Up to 20% of the townhouses | 18 feet | |
Remaining townhouses | 24 feet | |
| Maximum Lot Width | ||
Townhouses (feet) | 48 feet (2) | |
| Maximum Lot Coverage (% of lot area) | N/A | |
| Open Space (%) | 9.5 % (1) | |
| BUILDING SETBACKS | Townhouses | Apartment Buildings |
| Front Setback | 6 feet (3) | 20 feet (3) |
| Side, Facing a Street, Setback | 6 feet (3) | 20 feet (3) |
| Side, Interior Setback | 0 | N/A |
| Rear Setback | 0 | N/A |
|
| |
| BUILDING HEIGHT | Townhouses | Apartment Buildings |
| Maximum Number of Stories | 3 | N/A |
| Maximum Height (feet) | 35 feet (4) (5) | 120 feet (6) |
![]() |
| |
| ||
The RO residential/office district is designed to accommodate an office corridor or development compatible with the scale of surrounding residential neighborhoods. The development shall be designed to maintain a residential character.
| USES TABLE (RO) | |
|---|---|
| RESIDENTIAL | |
| Single-Family Dwelling | P |
| Apartments | P |
| LODGING | |
| OFFICE | |
| Offices | P |
| COMMERCIAL | |
| Accessory commercial use | A* |
| Health Club | A* |
| Alcoholic Beverage Establishments | Pro* |
| Gambling and Casinos pursuant to section 7.1.8 | Pro |
| Rentals or leases of mopeds, motorcycles, and motorized bicycles pursuant to section 7.1.8 | Pro |
| Neighborhood and Retail Fulfillment Centers pursuant to section 7.1.8 | Pro |
| CIVIC | |
| Religious Institutions with occupancy of 199 persons or less | CA* |
| CIVIL SUPPORT | |
| EDUCATIONAL | |
| Family Day Care Facility | A* |
| INDUSTRIAL | |
| OTHER | |
| Key P – Main Permitted Use C - Conditional Use A - Accessory Use Pro - Prohibited Use *See Supplemental use regulations below | |
| Development Regulations Table (RO) | |
|---|---|
| Maximum FAR | 0.75 |
| Maximum Density (Dwelling Units Per Acre) | 56 DUA (80% bonus for workforce or affordable units) |
| MINIMUM UNIT SIZE (SQUARE FEET) | |
| Single Family Detached House | 1,800 SF (2) |
| Apartments/Multi-family Units | |
New Construction | 550 SF |
Non-elderly and elderly low and moderate income housing | 400 SF |
Workforce Housing | 400 SF |
Rehabilitated Buildings | 550 SF |
| MINIMUM AVERAGE UNIT SIZE (SQUARE FEET) | |
| Single Family Detached House | N/A |
| Apartments/Multi-family Units | |
New Construction | N/A (3) |
Non-elderly and elderly low and moderate income housing | N/A (3) |
Workforce Housing | N/A (3) |
Rehabilitated Buildings | N/A (3) |
| LOT OCCUPATION | |
| Minimum Lot Area (square feet) | 6,000 SF Residential N/A Office |
| Maximum Lot Coverage (% of lot area) | N/A |
| Minimum Lot Width | 50 Feet Residential N/A Office |
| Maximum Lot Coverage (% of lot area) | N/A |
| BUILDING SETBACKS | |
| Front Setback Ⓐ | 20 feet |
| Side, Facing a Street Setback Ⓑ | 15 feet |
| Side, Interior Setback Ⓒ | 7.5 feet (1) The sum of each side yard shall be at least 25% of the lot width, not to exceed 50 feet |
| Rear Setback Ⓓ | 15 % of the lot depth, 20 feet minimum. |
| |
| BUILDING HEIGHT | |
| Maximum Height Ⓔ | 33 feet |
| |
| |
b. Design Review (RO)
The CD-1 commercial, low intensity district is a retail sales, personal services, shopping district, designed to provide service to surrounding residential neighborhoods.
| USES TABLE (CD-1) | |
|---|---|
| RESIDENTIAL | |
| Apartments | P |
| LODGING | |
| Bed and Breakfast Inn | P* |
| OFFICE | |
| Offices A* | |
| COMMERCIAL | |
| Commercial Uses | P |
| Alcoholic Beverage Establishments | P* C* A* |
| Liquor Store | P*, Pro* |
| Dance Halls | Pro |
| Outdoor Entertainment Establishment | Pro |
| Open Air Entertainment Establishment | Pro |
| Entertainment Establishment | Pro |
| Pawnshops | C |
| Health Clubs | P |
| Accessory outdoor bar counters | Pro |
| Gambling and Casinos pursuant to section 7.1.8 | Pro |
| Rentals or leases of mopeds, motorcycles, and motorized bicycles pursuant to section 7.1.8 | Pro |
| Neighborhood and Retail Fulfillment Centers pursuant to section 7.1.8 | Pro |
| CIVIC | |
| Religious Institutions with occupancy of 199 persons or less | P, A* |
| Religious Institutions with occupancy greater than 199 | C |
| CIVIL SUPPORT | |
| Assisted Living | C* |
| Medical Uses | C* |
| Public and Private Institutions | C |
| Neighborhood Impact Establishment | C |
| EDUCATIONAL | |
| Schools | C P* |
| Day Care Facility | C |
| Family Day Care Facility | A* |
| INDUSTRIAL | |
| Warehouses | C |
| Storage of goods used in, or produced by, permitted industrial uses or related activities | A* |
| Storage of supplies or merchandise normally carried in stock | A* |
| OTHER | |
| Storage and/or parking of commercial vehicles | C* |
| Any use selling gasoline | C |
| Accessory off-street parking and loading spaces | A* |
| Vending machines | A* |
| Solar Panels | A* |
| Neighborhood Impact Structure | C |
Key P – Main Permitted Use C - Conditional Use A - Accessory Use Pro - Prohibited Use *See supplemental use regulations below | |
a. The development regulations in the CD-1 commercial, low intensity district are as follows:
| DEVELOPMENT REGULATIONS TABLE (CD-1) | |
|---|---|
| Maximum FAR | 1.0 |
Mixed Use Buildings (When more than 25 percent (25%) of the total area of a building is used for residential units) | 1.25 |
| Maximum Density (Dwelling Units per Acre) | 60 DUA (80% bonus for workforce or affordable units) |
| MINIMUM UNIT SIZE (SQUARE FEET) | |
| Apartments/Multi-family Units | |
New Construction | 550 SF |
Non-elderly and elderly low and moderate income housing | 400 SF |
Workforce Housing | 400 SF |
Rehabilitated Buildings | 400 SF |
| MINIMUM AVERAGE UNIT SIZE (SQUARE FEET) | |
| Apartments/Multi-family Units | |
New Construction | N/A (3) |
Non-elderly and elderly low and moderate income housing | N/A (3) |
Workforce Housing | N/A (3) |
Rehabilitated Buildings | N/A (3) |
| Lodging and Hotel Units | N/A |
| LOT OCCUPATION | |
| Minimum Lot Area (square feet) | None |
| Minimum Lot Width (feet) | None |
| Maximum Lot Coverage (% of lot area) | None |
| BUILDING SETBACKS | |
| Front Setback | |
Subterranean | 0 feet See section 7.1.2.2 d-e |
Pedestal | |
| Side, Facing a Street Setback | |
Subterranean | 0 feet See section 7.1.2.2 d-e 10 feet (When abutting a residential district, unless separated by a street or waterway) |
Pedestal | |
| Side, Interior Setback | |
Subterranean | 0 feet 10 feet (when abutting a residential district) |
Pedestal | |
| Rear Setback | |
Subterranean | 5 feet 10 feet (When abutting a residential district) 0 feet (separated by a street or waterway) |
Pedestal | |
| |
| BUILDING HEIGHT | |
| Maximum Height | 40 feet (1) (2) |
| |
| |
b. Regulations for New Construction
In the CD-1 district, all floors of a building containing parking spaces shall comply with section 7.1.6
The CD-2 commercial, medium intensity district provides for commercial activities, services, offices and related activities which serve the entire city.
| USES TABLE (CD-2) | |
|---|---|
| RESIDENTIAL | |
| Apartments | P |
| LODGING | |
| Apartment Hotels | P* , Pro* |
| Hotels | P* , Pro* |
| Hostels | P* , Pro* |
| Suite Hotels | P* , Pro* |
| OFFICE | |
| Office | P* |
| COMMERCIAL | |
| Commercial Uses | P |
| Kennel | P |
| Restaurants with alcoholic beverage licenses | P*, C* |
| Alcoholic Beverage Establishments | P* C*A* |
| Dance Halls | C* Pro* |
| Outdoor Entertainment Establishment | C Pro* |
| Open Air Entertainment Establishment | C Pro* |
| Entertainment Establishment | C* Pro* |
| Neighborhood Impact Establishment | C* Pro* |
| Bars | P*, Pro* |
| Pawnshops | C Pro* |
| Funeral Home | C |
| Formula commercial establishment | P*, Pro* |
| Formula restaurant | P*, Pro* |
| Tobacco and Vape Dealers | P*, Pro* |
| Accessory outdoor bar counters | A* Pro* |
| Check Cashing Stores | P*, Pro* |
| Convenience Stores | P*, Pro* |
| Occult Science Establishment | P*, Pro* |
| Souvenir and T-shirt Shops | P*, Pro* |
| Liquor Stores | P*, C* , Pro* |
| Health club | P |
| Tattoo Studios | P*, Pro* |
| Gambling and Casinos pursuant to section 7.1.8 | Pro |
| Rentals or leases of mopeds, motorcycles, and motorized bicycles pursuant to section 7.1.8 | Pro |
| Neighborhood and Retail Fulfillment Centers pursuant to section 7.1.8 | Pro |
| CIVIC | |
| Religious Institutions with occupancy of 199 persons or less | P |
| Religious Institutions with occupancy over 199 persons | C |
| CIVIL SUPPORT | |
| Public and Private Institutions | C |
| EDUCATIONAL | |
| Schools | C P* |
| Family day care facility | A* |
| INDUSTRIAL | |
| OTHER | |
| Storage and/or parking of commercial vehicles | C |
| Any use selling gasoline | C |
| Self-Storage Warehouse | C* |
| Main Use Parking Garage | P*, C* |
| Neighborhood Impact Structure | C |
| Parking lots or garages when a main use | P*, Pro* |
| Key P – Main Permitted Use C - Conditional Use A - Accessory Use Pro - Prohibited Use *See Supplemental Use Regulations below | |
Applications for a vested rights determination shall be made in writing and filed with the city manager, city attorney, and city clerk.
a. The development regulations in the CD-2 commercial, medium intensity district are as follows:
| DEVELOPMENT REGULATIONS TABLE (CD-2) | |
|---|---|
| Maximum FAR | 1.5 (5) |
Mixed Use Buildings (When more than 25 percent (25%) of the total area of a building is used for residential) | 2.0 (5) |
| Maximum Density (Dwelling Units Per Acre) | 100 DUA (80% bonus for workforce or affordable units) |
| MINIMUM UNIT SIZE (SQUARE FEET) | |
| Apartments/Multi-family Units | |
New Construction | 550 SF |
Non-elderly and elderly low and moderate income housing | 400 SF |
Workforce Housing | 400 SF |
Rehabilitated Buildings | 400 SF |
| Lodging and Hotel Units | 335 SF + (6) |
For hotel structures located within the Collins Park District, generally bounded by the erosion control line on the east, the east side of Washington Avenue on the west, 23rd Street on the north, and 17th Street on the south (MAP EXHIBIT-7) | 335 SF |
Hotel units within rooftop additions to contributing structures in a historic district and individually designated historic buildings | 335 SF |
| MINIMUM AVERAGE UNIT SIZE (SQUARE FEET) | |
| Apartments/Multi-family Units | |
New Construction | 800 SF (7) (8)(9) |
Non-elderly and elderly low and moderate income housing | 400 SF (7) (8)(9) |
Workforce Housing | 400 SF (7) (8)(9) |
Rehabilitated Buildings | 550 SF (7) (8)(9) |
| Lodging and Hotel Units | N/A |
| LOT OCCUPATION | |
| Minimum Lot Area (square feet) | None |
| Minimum Lot Width (feet) | None |
| Maximum Lot Coverage (% of lot area) | N/A |
| BUILDING SETBACKS | |
| Front Setback Ⓐ | |
Subterranean | 0 feet (See section 7.1.2.2) 5 feet (Self-Storage Warehouse) |
Pedestal | |
Tower | |
| Side, Facing a Street Setback Ⓑ | |
Subterranean | 0 feet (See section 7.1.2.2) 10 feet (when abutting a residential district, separated by a street or waterway) 5 feet (Self Storage Warehouse) |
Pedestal | |
Tower | |
| Side, Interior Setback Ⓒ | |
Subterranean | 0 feet (4) 10 feet (when abutting a residential district) (4) 7.5 feet or 8 percent (8%) of the lot width, whichever is greater (Self-Storage Warehouse) |
Pedestal | |
Tower | |
| Rear Setback Ⓓ | |
Subterranean | 5 feet (4) 10 feet (when abutting a residential district) (4) 0 feet (abutting a residential district separated by a street or waterway (4) 25 feet (Self-storage Warehouse (for lots with a rear property line abutting a residential district)) 7.5 feet (Self-storage Warehouse (for lots with a rear property line abutting an alley)) |
Pedestal | |
Tower | |
| |
| BUILDING HEIGHT | |
| Maximum Height Ⓔ | 50 feet (1) (2) |
Self Storage Warehouse | 40 feet (3) |
Mixed-use and commercial buildings that include structured parking for properties on the west side of Alton Road from 6th Street to Collins Canal (MAP EXHIBIT-6) | 60 feet (6) (2) |
| |
| |
b. Regulations for New Construction
| DEVELOPMENT REGULATIONS TABLE (WASHINGTON AVE - CD-2) | |
|---|---|
| Maximum FAR | 1.5 |
| Maximum Density (Dwelling Units Per Acre) | 100 DUA |
| Minimum and minimum average Unit Size (square feet) | See section 7.2.11.3.a |
| Supplemental Minimum Unit Size | See section 7.2.11.5.c. below. |
| LOT OCCUPATION | |
| Minimum Lot Area (square feet) | None |
| Minimum Lot Width (feet) | None |
| Maximum Lot Coverage (% of lot area) | None |
| BUILDING SETBACKS | Lots with frontage equal or less than 100 feet (Pursuant to section 7.2.11.3.a) |
| BUILDING SETBACKS | Lots with frontage greater than 100 feet |
| Front Setback Ⓐ | |
Subterranean | 0 feet |
Ground Level | 0 feet (See section 7.1.2.2) |
Above the ground level up to 35 feet in height | 5 feet min (for parking garages with liners) 10 feet min (for parking garages without liners) 15 feet min (for all other uses) |
Above 35 feet in height up to 75 feet | 5 feet min (for parking garages with liners) 10 feet min (for parking garages without liners) 30 feet min (for all other uses) |
| Above 75 feet in height | 110 feet |
| Side, Facing a Street Setback Ⓑ | |
Subterranean | 0 feet |
Nonresidential Uses | 0 feet (See section 7.1.2.2) |
Residential and Hotel Uses | 7.5 feet (See section 7.1.2.2) |
| Above 75 feet in height for all uses | 45 feet |
| Side, Interior Setback Ⓒ | |
Subterranean | 0 feet |
Nonresidential Uses | 0 feet |
Residential and Hotel Uses | 7.5 feet or 8% of lot width (whichever is greater, up to 10 feet) 7.5 feet (when abutting a nonresidential or non-hotel use) |
| Above 75 feet for all uses | 45 feet |
| Rear Setback Ⓓ | |
Subterranean | 0 feet |
Ground Level | 0 feet |
Above the Ground Level | 10 % of lot depth 0 feet (for parking garage floors above the minimum truck clearance) |
| |
| BUILDING HEIGHT | |
| Maximum Height Ⓔ | 55 feet (unless otherwise specified in section 7.2.11.5.c below) |
Lots that have frontage equal to or greater than 200 feet | 75 feet |
Main Parking Garages | 55 feet (Regardless of frontage) |
| |
| DEVELOPMENT REGULATIONS TABLE (WOLFSONIAN ARTS DISTRICT - CD-2) | |
|---|---|
| Maximum FAR | 3.25 (for the following properties located on the east side of Washington Avenue: Lots 9, 10, 11, 12, and 13, within Block 30, of the plat of Ocean Beach Addition No. 2, recorded in Plat Book 2, Page 56, of the Public Records of Miami-Dade County) |
| Maximum Density (Dwelling Units Per Acre) | 100 DUA |
| Minimum and minimum average Unit Size (square feet) | See section 7.2.11.3.a |
| LOT OCCUPATION | |
| Minimum Lot Area (square feet) | None |
| Minimum Lot Width (feet) | None |
| Maximum Lot Coverage (% of lot area) | N/A |
| BUILDING SETBACKS | |
| Front Setback | |
Subterranean | 0 feet |
Pedestal | 0 feet |
Tower | 0 feet |
| Side, Facing a Street Setback | |
Subterranean | 0 feet |
Pedestal | 0 feet |
Tower | 0 feet |
| Side, Interior Setback | |
Subterranean | 0 feet |
Pedestal | 0 feet |
Tower | 0 feet |
| Rear Setback | |
Subterranean | 0 feet |
Pedestal | 0 feet |
Tower | 0 feet |
| |
| BUILDING HEIGHT | |
| Maximum Height | 75 feet |
| |
| DEVELOPMENT REGULATIONS TABLE (ALTON ROAD GATEWAY AREA - CD-2) | |
|---|---|
| Maximum FAR | 1.5 (2) |
Mixed Use Buildings (When more than 25 percent (25%) of the total area of a building is used for residential or hotel units ) | 2.0 |
| Maximum Density (Dwelling Units Per Acre) | 100 DUA |
| Minimum and minimum average Unit Size (square feet) | See section 7.2.11.3.a |
| LOT OCCUPATION | |
| Minimum Lot Area (square feet) | None |
| Minimum Lot Width (feet) | None |
| Maximum Lot Coverage (% of lot area) | None |
| BUILDING SETBACKS | |
| Front Setback | |
Alton Road | 10 feet 0 feet (for elevated open walkways) |
West Avenue | 20 feet 0 feet (for elevated open walkways) |
5th Street / Mac Arthur Causeway | 17 feet 0 feet (for elevated open walkways) |
| Side, Facing a Street Setback | |
Subterranean | 0 feet 10 feet (when abutting a residential district, separated by a street or waterway) 5 feet (Self Storage Warehouse) |
Pedestal | |
Tower | |
| Side, Interior Setback | |
Subterranean | 0 feet (3) 10 feet (when abutting a residential district) (3) 7.5 feet or 8 percent (8%) of the lot width, whichever is greater (Self-Storage Warehouse) |
Pedestal | |
Tower | |
| Rear Setback | |
Subterranean | 5 feet (3) 10 feet (when abutting a residential district) (3) 0 feet (abutting a residential district separated by a street or waterway (3) 25 feet (Self-storage Warehouse (for lots with a rear property line abutting a residential district)) 7.5 feet (Self-storage Warehouse (for lots with a rear property line abutting an alley)) |
Pedestal | |
Tower | |
| |
| BUILDING HEIGHT | |
| Maximum Height | |
Main Use Residential | 60 feet (1) |
Non-Residential | 40 feet (1) |
(1) Height shall be measured from the base flood elevation, plus freeboard, provided that the height of the first floor shall be tall enough to allow the first floor to eventually be elevated to base flood elevation, plus freeboard, with a future minimum interior height of at least 14 feet as measured from the height of the future elevated adjacent right-of-way as provided under the city's public works manual. (2) Notwithstanding the above regulations, the maximum floor area ratio (FAR) for self-storage warehouses shall be 1.5. The floor area ratio provision for mixed use buildings on this table shall not apply to self-storage warehouse development. (3) Notwithstanding the foregoing, rooftop additions to contributing structures in a historic district and individually designated historic buildings may follow existing nonconforming side and rear pedestal setbacks. | |
| DEVELOPMENT REGULATIONS TABLE (ALTON ROAD HISTORIC DISTRICT BUFFER OVERLAY – CD-2) | |
|---|---|
| Maximum FAR | 1.5 (2) |
Mixed Use Buildings (When more than 25 percent (25%) of the total area of a building is used for residential or hotel units) | 2.0 |
| Maximum Density (Dwelling Units Per Acre) | 100 DUA |
| Minimum and minimum average Unit Size (square feet) | See section 7.2.11.3.a |
| LOT OCCUPATION | |
| Minimum Lot Area (square feet) | None |
| Minimum Lot Width (feet) | None |
| Maximum Lot Coverage (% of lot area) | N/A |
| BUILDING SETBACKS | |
| Front Setback | 5 feet (1) (See section 7.1.2.2) |
| Side, Facing a Street Setback | 5 feet (1) (See section 7.1.2.2) |
| Side, Interior Setback | 0 feet (1) |
| Rear Setback | 7.5 feet (1) |
For lots with a rear property line abutting an RM-1 or an RS-4 district | 25 feet (1) |
for lots with a rear property line abutting an alley (Lenox Court) | 5 feet (1) |
| |
| BUILDING HEIGHT | |
| Maximum Height | 50 feet (3) |
Within 40 feet from the rear property line for lots abutting and alley (Lenox Court) | 28 feet (3) |
Within 60 feet from the RM-1 district for blocks with no alley, between 8th Street and 11th Street. | 28 feet (3) |
| |
(1) There shall be no variances for building setbacks, except for triangular lots. (2) Notwithstanding the above regulations, the maximum floor area ratio (FAR) for self-storage warehouses shall be 1.5. The floor area ratio provision for mixed use buildings on this table shall not apply to self-storage warehouse development. (3) No variances for building height allowed. | |
The CD-3 commercial, high intensity district is designed to accommodate a highly concentrated business core in which activities serving the entire city are located.
| USES TABLE (CD-3) | |
|---|---|
| RESIDENTIAL | |
| Apartments | P |
| LODGING | |
| Apartment Hotels | P |
| Hotels | P* |
| Hostels | P* |
| Suite Hotels | P* |
| OFFICE | |
| Offices | P* Pro A* |
| COMMERCIAL | |
| Commercial uses | P |
| Kennel | P |
| Alcoholic beverage establishments | P* C* A* |
| Dance halls | P*, C |
| Outdoor entertainment establishment | C |
| Open air entertainment establishment | C |
| Pawnshops | Pro |
| Accessory outdoor bar counters | A * , Pro* |
| Health club | P |
| Neighborhood impact establishment | C |
| Artisanal retail for on-site sales only | P*, C* |
| Furniture sales establishments larger than 45,000 SF | P* |
| Secondhand dealers of precious metals/precious metals dealers | Pro |
| Tobacco/vape dealers | P*, Pro* |
| Check cashing stores | P*, Pro * |
| Medical cannabis dispensaries | P*, Pro * |
| Convenience stores | P*, Pro* |
| Grocery stores | P*, Pro* |
| Occult science establishments | P*, Pro* |
| Pharmacy stores | Pro* |
| Souvenir and t-shirt shops | P*, Pro* |
| Tattoo studios | P*, Pro* |
Gambling and casinos pursuant to section 7.1.8 | Pro |
| Rentals or leases of mopeds, motorcycles, and motorized bicycles pursuant to section 7.1.8 | Pro |
| Neighborhood and Retail Fulfillment Centers pursuant to section 7.1.8 | Pro |
| CIVIC | |
| Religious Institutions with occupancy of 199 persons or less | P* |
| Religious Institutions with occupancy greater than 199 persons. | C |
| Major cultural institutions | P* |
| CIVIL SUPPORT | |
| Public and private institutions | C |
| EDUCATIONAL | |
| Schools | C P* |
| Major cultural dormitory facilities | C* |
| Family day care facilities | A* |
| INDUSTRIAL | |
| Production studios | P* |
| OTHER | |
| Storage and/or parking of commercial vehicles | P*, Pro* |
Key P –Main Permitted Use C – Conditional Use A – Accessory Use Pro – Prohibited Use *See Supplemental use regulations below | |
| DEVELOPMENT REGULATIONS TABLE (CD-3) | |
|---|---|
| Maximum FAR | |
Lot area equal to or less than 45,000 SF | 2.25 |
Lot area greater than 45,000 SF | 2.75 |
Lots located between Drexel Avenue and Collins Avenue and between 16th Street and 17th Street (MAP EXHIBIT-5) | 2.75 |
Residential and hotel development within the architectural district | 2.5 |
| Maximum Density (Dwelling Units per Acre) | 150 DUA (80% bonus for workforce or affordable units) |
| MINIMUM UNIT SIZE (SQUARE FEET) | |
| Apartments/Multi-family Units | |
New Construction | 550 SF |
Non-elderly and elderly low and moderate income housing | 400 SF |
Workforce Housing | 400 SF |
Rehabilitated Buildings | 400 SF |
| Lodging and Hotel Units | 335 SF + (4) |
For hotel structures located within the Collins Park District, generally bounded by the erosion control line on the east, the east side of Washington Avenue on the west, 23rd Street on the north, and 17th Street on the south (MAP EXHIBIT-12) | 335 SF |
For new hotel units within attached or detached additions to contributing buildings on the north side of Lincoln Road, between Pennsylvania Avenue and Lenox Avenue (MAP EXHIBIT-13), with at least 5 percent (5%) of the total floor area dedicated to amenity space | 335 SF |
Hotel units within rooftop additions to contributing structures in a historic district and individually designated historic buildings | 335 SF |
| MINIMUM AVERAGE UNIT SIZE (SQUARE FEET) | |
| Apartments/Multi-family Units | |
New Construction | 800 SF (5) (6)(7) |
Non-elderly and elderly low and moderate income housing | 400 SF (5) (6)(7) |
Workforce Housing | 400 SF (5) (6)(7) |
Rehabilitated Buildings | 550 SF (5) (6)(7) |
| Lodging and Hotel Units | N/A |
| LOT OCCUPATION | |
| Minimum Lot Area (square feet) | None |
| Minimum Lot Width (feet) | None |
| Maximum Lot Coverage (% of lot area) | None |
| BUILDING SETBACKS | |
| Front Setback Ⓐ | |
Subterranean | 0 feet (See section 7.1.2.2) |
Pedestal | |
Tower | |
| Side, Facing a Street Setback Ⓑ | |
Subterranean | 0 feet (See section 7.1.2.2) 10 feet - when abutting a residential district not separated by a street or waterway |
Pedestal | |
Tower | |
| Side, Interior Setback Ⓒ | |
Subterranean | 0 feet 10 feet -when abutting a residential district. (1) |
Pedestal | |
Tower | |
| Rear Setback Ⓓ | |
Subterranean | 5 feet (1) 10 feet - when abutting a residential district not separated by a street or waterway (1) 0 feet - when abutting a residential district separated by a street or waterway (1) |
Pedestal | |
Tower | |
| |
| BUILDING HEIGHT | |
| Maximum Height Ⓔ | 75 feet (3) |
Lots on the north side of Lincoln Road between Pennsylvania Avenue and Lenox Avenue, with a minimum lot area of 30,000 square feet, and which contain a contributing building and an attached addition providing a minimum of 100 hotel units, where the addition is set back at least 75 feet from the Lincoln Road property line, and has a street side setback of no less than 25 feet | 75 feet (2) (3) |
Lots within the architectural district. (MAP EXHIBIT-6) | 50 feet (3) |
Lots fronting on 17th Street (MAP EXHIBIT-7) | 80 feet (3) |
Lots fronting Washington Avenue between Lincoln Road and 17th Street for main use office building | 80 feet (3) |
City Center Area (bounded by Drexel Avenue, 16th Street, Collins Avenue and the south property line of those lots fronting on the south side of Lincoln Road) (MAP EXHIBIT-8) | 100 feet (3) |
Lots fronting on Lincoln Road and 16th Street between Drexel Avenue and Washington Avenue (MAP EXHIBIT-9) | 50 feet for the first 50 feet of lot depth. (3) |
Lots fronting on Drexel Avenue (MAP EXHIBIT-10) | 50 feet for the first 25 feet of lot depth. (except as provided in section 7.5.2) (3) |
| |
| |
b. Regulations for new construction
In the CD-3 district, all floors of a building containing parking spaces shall comply with section 7.1.6.
The MXE mixed use entertainment district is designed to encourage the substantial restoration of existing structures and allow for new construction.
| USES TABLE (MXE) | |
|---|---|
| RESIDENTIAL | |
| Apartments | P |
| LODGING | |
| Apartment Hotels | P* |
| Hotels | P* |
| Hostels | P* |
| Suite Hotels | P* |
| OFFICE | |
| Office | A* |
| Medical and Dental Offices | Pro* |
| COMMERCIAL | |
| Commercial Uses | A*, P* |
| Commercial Development | A*, P* |
| Outdoor Entertainment Establishment | C |
| Open Air Entertainment Establishment | C |
| Accessory outdoor bar counters | A*, Pro* |
| Ballroom | C |
| Uses that serve alcoholic beverages | A* |
| Artisanal Retail | C* |
| Neighborhood Impact Establishment | C |
| Liquor Store | Pro |
| Gambling and Casinos pursuant to section 7.1.8 | Pro |
| Rentals or leases of mopeds, motorcycles, and motorized bicycles pursuant to section 7.1.8 | Pro |
| Neighborhood and Retail Fulfillment Centers pursuant to section 7.1.8 | Pro |
| CIVIC | |
| Religious Institutions with occupancy of 199 persons or less | P |
| Religious Institutions with occupancy greater than 199 | C |
| CIVIL SUPPORT | |
| Public and private cultural institutions | C |
| EDUCATIONAL | |
| INDUSTRIAL | |
| OTHER | |
| Major cultural dormitory facilities | C |
| Neighborhood Impact Structures | C |
| Parking lots or garages when a main permitted use | Pro* |
Key P – Main Permitted Use C - Conditional Use A - Accessory Use Pro - Prohibited Use *See Supplemental use regulations below | |
a. The development regulations in the MXE mixed use entertainment district are as follows:
| DEVELOPMENT REGULATIONS TABLE (MXE) | ||
|---|---|---|
| Maximum FAR | 2.0 | |
Convention hotel development | 3.5 | |
| Maximum Density (Dwelling Units per Acre) | 100 DUA (80% bonus for workforce or affordable units) | |
| MINIMUM UNIT SIZE (SQUARE FEET) | ||
| Apartments/Multi-family Units | ||
New Construction | 500 SF | |
Non-elderly and elderly low and moderate income housing | 400 SF | |
Workforce Housing | 400 SF | |
Rehabilitated Buildings | 400 SF | |
| Lodging and Hotel Units | 335 SF + | |
Hotel Units (in a local historic district/site) | 200 SF | |
Hotel Units within rooftop additions or within ground level additions to contributing structures in a historic district and individually designated historic buildings | 335 SF | |
| MINIMUM AVERAGE UNIT SIZE (SQUARE FEET) | ||
| Apartments/Multi-family Units | ||
New Construction | 800 SF (5) (6)(7) | |
Non-elderly and elderly low and moderate income housing | 400 SF (5) (6)(7) | |
Workforce Housing | 400 SF (5) (6)(7) | |
Rehabilitated Buildings (Existing Structures) | 550 SF (5) (6)(7) | |
| Lodging and Hotel Units | N/A | |
| LOT OCCUPATION | ||
| Minimum Lot Area (square feet) | N/A | |
| Minimum Lot Width (feet) | N/A | |
| Maximum Lot Coverage (% of lot area) | N/A | |
| BUILDING SETBACKS | ||
| Front Setback Ⓐ | Oceanfront | Non-Oceanfront |
Subterranean | N/A | N/A |
Pedestal | 50 feet (3) | 10 feet |
Lots 100 feet in width or greater | N/A | 20 feet |
Tower | ||
| Front Setback Ⓐ Lots 100 ft in width or greater with a ten-foot-deep coveredterrace running substantially the full width of the building front. | Oceanfront | Non-Oceanfront |
Pedestal | N/A | 5 feet (4) Furthermore, the front setback shall be extended to include at least one forecourt, open to the sky, with a minimum width of 10 feet and a minimum area of 3 square feet for every linear foot of lot frontage. |
Tower | 110 feet (4) | |
| Side, Facing a Street Setback Ⓑ | Oceanfront | Non-Oceanfront |
Subterranean | N/A | N/A |
Pedestal | 15 % of the lot width + 5 feet (4) | 10 % of the lot width + 5 feet, not to exceed 25 feet. (4) |
Lots less than 100 feet in width | 5 feet (4) | |
Tower | 25 % of the lot width + 5 feet. (4) | |
Lots less than 100 ft in width | 45 feet (4) | |
| Side, Facing a Street Setback Ⓑ Lots 100 feet in width or greater with a ten foot-deep terrace running substantially the full side length of the building, with a minimum floor-toceiling height of 12 feet | Oceanfront | Non-Oceanfront |
Pedestal | N/A | 5 feet (4) Furthermore, the setback shall be extended to include at least one forecourt, open to the sky, with a minimum of 1,000 square feet and a minimum average depth of 20 feet. The long edge of the forecourt shall be along the side property line. The area of the forecourt shall be increased by an additional 50 square feet for every one foot of building height above 30 feet as measured from grade. |
Tower | 45 feet (4) | |
| Side, Interior Setback Ⓒ | Oceanfront | Non-Oceanfront |
Subterranean | N/A | N/A |
Pedestal | 15 % of the lot width (4) | 5 feet (4) |
Tower | 7.5 feet (4) 25 feet (Architectural District) (4) | |
| Rear Setback Ⓓ | Oceanfront | Non-Oceanfront |
Subterranean | N/A | N/A |
Pedestal | 25 percent (25%) of the lot depth or 75 feet minimum from the bulkhead line, whichever is greater (4) | 10 feet (4) 10 feet (In Architectural District if abutting and alley) (4) |
Tower | ||
|
| |
| BUILDING HEIGHT | Oceanfront | Non-Oceanfront |
| Maximum Heigh Ⓔ | 75 feet (1) (2) | |
Architectural District (Oceanfront) | 150 feet (2) | |
Architectural District (NonOceanfront) | 50 feet (1) (2) | |
|
| |
| ||
b. Regulations for new construction. (MXE)
In the MXE district, all floors of a building containing parking spaces shall comply with section 7.1.6.
c. Lot aggregation. (MXE)
No more than two (2) contiguous platted lots may be aggregated for development purposes.
| USES TABLE (TC-1, TC-2) | |
|---|---|
| RESIDENTIAL | |
| Apartments | P* |
| LODGING | |
| Apartment Hotels | P* |
| Hotels | P* |
| OFFICE | |
| COMMERCIAL | |
| Commercial uses | P |
| Kennel | P* |
| Alcoholic beverage establishments | P* A Pro |
| Outdoor entertainment establishment | C |
| Open air entertainment establishment | C |
| Entertainment establishment | C* A* |
| Pawnshops | Pro |
| Accessory outdoor bar counters | A* |
| Gambling and casinos pursuant to section 7.1.8 | Pro |
| Rentals or leases of mopeds, motorcycles, and motorized bicycles pursuant to section 7.1.8 | Pro |
| Neighborhood and Retail Fulfillment Centers pursuant to section 7.1.8 | Pro |
| CIVIC | |
| Religious institution | C |
| CIVIL SUPPORT | |
| Public and private institutions | C |
| EDUCATIONAL | |
| Schools | C P* |
| Major cultural dormitory facilities | C* |
| INDUSTRIAL | |
| OTHER | |
| Neighborhood Impact Structure | C* |
| Neighborhood Impact Establishment | C |
| Key P – Main Permitted Use C - Conditional Use A - Accessory Use Pro - Prohibited Use * See Supplemental Use Regulations below | |
| USES TABLE (TC-3) | |
|---|---|
| RESIDENTIAL | |
| Single family detached dwelling | P |
| Townhomes | P |
| Apartments | P |
| LODGING | |
| Apartment hotels | C* |
| Hotels | C* |
| Suite hotels | C* |
| Hostels | Pro |
| OFFICE | |
| Offices | P |
| COMMERCIAL | |
| Commercial uses | |
| Neighborhood oriented retail and services uses | C* |
| Alcoholic beverage establishments | Pro* |
| Accessory outdoor entertainment establishment | Pro |
| Accessory open air entertainment establishment | Pro |
| Entertainment establishment | Pro |
| Accessory dance halls | Pro |
| Accessory entertainment establishment | Pro |
| Accessory outdoor bar counters | Pro |
| Gambling and casinos pursuant to section 7.1.8 | Pro |
| Rentals or leases of mopeds, motorcycles, and motorized bicycles pursuant to section 7.1.8 | Pro |
| Neighborhood and Retail Fulfillment Centers pursuant to section 7.1.8 | Pro |
| CIVIC | |
| Religious institution | C |
| CIVIL SUPPORT | |
| Public and private institutions | C |
| Accessory neighborhood impact establishment | Pro |
| Adult congregate living facility | C |
| Nursing home | C |
| EDUCATIONAL | |
| Day care facility | C |
| Schools | C P* |
| INDUSTRIAL | |
| OTHER | |
| Commercial or noncommercial parking lots and garages (with accessory commercial uses) | C* |
| Key P – Main Permitted Use C - Conditional Use A - Accessory Use Pro - Prohibited Use *See Supplemental Use Regulations below | |
| DEVELOPMENT REGULATIONS TABLE (TC-1 TOWN CENTER CORE) | |
|---|---|
| Maximum FAR | 2.25 - For lots equal to or less than 45,000 square feet 2.75 - For lots greater than 45,000 square feet. |
| Maximum Density (Dwelling Units per Acre) | 150 DUA (80% bonus for workforce or affordable units) |
| MINIMUM UNIT SIZE (SQUARE FEET) | |
| Apartments/Multi-family Units | |
New Construction | 550 SF |
Non-elderly and elderly low and moderate income housing | 400 SF |
Workforce Housing | 400 SF |
Rehabilitated Buildings | 550 SF |
| Lodging and Hotel Units | 335 SF + |
| MINIMUM AVERAGE UNIT SIZE (SQUARE FEET) | |
| Apartments/Multi-family Units | |
New Construction | 550 SF (2) (3)(4) |
Non-elderly and elderly low and moderate income housing | 400 SF (2) (3)(4) |
Workforce Housing | 400 SF (2) (3)(4) |
Rehabilitated Buildings | 550 SF (2) (3)(4) |
| Lodging and Hotel Units | N/A |
| LOT OCCUPATION | |
| Minimum Lot Area (square feet) | None |
| Minimum Lot Width (feet) | None |
| BUILDING SETBACKS | |
| Front Setback (feet) Along 71st Street Ⓐ | |
Subterranean | 10 feet |
Pedestal (first 4 stories) | |
Tower (above 4th story) | 25 feet |
| Side, Facing a Street, Setback (feet) Ⓑ | |
Subterranean | 5 feet |
Pedestal | |
Tower | |
| Side, Interior Setback (feet) Ⓒ | |
Subterranean | 0 feet 10 feet when abutting a TC-3 district or a future alley designated on the infill regulating plan |
Pedestal | |
Tower | |
| Rear Setback (feet) Ⓓ | |
Subterranean | 10 feet 0 feet abutting an alley or where there is a side lot line abutting 71st Street (1) |
Pedestal | |
Tower | |
| |
| BUILDING HEIGHT | |
| Maximum Height Ⓔ | 125 feet |
| |
| |
| DEVELOPMENT REGULATIONS TABLE (TC-2 TOWN CENTER MIXED-USE) | |
|---|---|
| Maximum FAR | 1.5 |
Mixed-Use Buildings (where more than 25 percent (25%) of the total area of a building is used for residential or hotel units) | 2.0 |
| Maximum Density (Dwelling Units per Acre) | 100 DUA (80% bonus for workforce or affordable units) |
| MINIMUM UNIT SIZE (SQUARE FEET) | |
| Apartments/Multi-family Units | |
New Construction | 550 SF |
Non-elderly and elderly low and moderate income housing | 400 SF |
Workforce Housing | 400 SF |
Rehabilitated Buildings | 550 SF |
| Lodging and Hotel Units | 335 SF + |
| MINIMUM AVERAGE UNIT SIZE (SQUARE FEET) | |
| Apartments/Multi-family Units | |
New Construction | 800 SF (2) (3)(4) |
Non-elderly and elderly low and moderate income housing | 400 SF (2) (3)(4) |
Workforce Housing | 400 SF (2) (3)(4) |
Rehabilitated Buildings | 800 SF (2) (3)(4) |
| Lodging and Hotel Units | N/A |
| LOT OCCUPATION | |
| Minimum Lot Area (square feet) | 6,250 SF - Residential |
| Minimum Lot Width (feet) | 50 feet - Residential |
| BUILDING SETBACKS (3) | |
| Front Setback Ⓐ | |
Subterranean | 15 feet |
Pedestal | |
Tower | |
| Side, Facing a Street, Setback Ⓑ | |
Subterranean | 5 feet |
Pedestal | |
Tower | |
| Side, Interior Setback Ⓒ | |
Subterranean | 0 feet 10 feet (when abutting a TC-3 district or a future alley designated on the infill regulating plan) |
Pedestal | |
Tower | |
| Rear Setback Ⓓ | |
Subterranean | 10 feet 0 feet (abutting an alley or where there is a side lot line abutting 71st Street (1) |
Pedestal | |
Tower | |
| |
| BUILDING HEIGHT | |
| Maximum Height Ⓔ | 50 feet |
| |
| |
| DEVELOPMENT REGULATIONS TABLE (TC-3 TOWN CENTER RESIDENTIAL OFFICE) | |
|---|---|
| Maximum FAR | 1.25 |
| Maximum Density (Dwelling Units per Acre) | 60 DUA (80% bonus for workforce or affordable units) |
| MINIMUM UNIT SIZE (SQUARE FEET) | |
| Apartments/Multi-family Units | |
New Construction | 550 SF |
Non-elderly and elderly low and moderate income housing | 400 SF |
Workforce Housing | 400 SF |
Rehabilitated Buildings | 400 SF |
| Lodging and Hotel Units | 335 SF + |
| MINIMUM AVERAGE UNIT SIZE (SQUARE FEET) | |
| Apartments/Multi-family Units | |
New Construction | 550 SF (1) (2)(3) |
Non-elderly and elderly low and moderate income housing | 400 SF (1) (2)(3) |
Workforce Housing | 400 SF (1) (2)(3) |
Rehabilitated Buildings | No Minimum |
| Lodging and Hotel Units | N/A |
| LOT OCCUPATION | |
| Minimum Lot Area (square feet) | N/A |
| Minimum Lot Width | N/A |
| BUILDING SETBACKS | |
| Front Setback Ⓐ | |
Subterranean | 15 feet |
Pedestal (not to exceed 23 feet in height to the top of the roof deck) | |
Tower | 15 feet + 1 foot for every 1 foot in height above 23 feet |
| Side, Facing a Street, Setback Ⓑ | |
| Lots 50 ft wide or less | |
Subterranean | 7.5 feet |
Pedestal (not to exceed 23 feet in height to the top of the roof deck) | |
Tower | 7.5 feet + 1 foot for every 1 foot in height above 23 feet |
| Lots greater than 50 feet wide | |
Subterranean | 10 feet |
Pedestal (not to exceed 23 feet in height to the top of the roof deck) | |
Tower | 10 feet + 1 foot for every 1 foot in height above 23 feet |
| Side, Interior Setback Ⓒ | |
Subterranean | 7.5 feet 10 feet (for lots abutting a TC-1 district) |
Pedestal (up to 33 feet in height) | |
Tower (33 feet or more in height) | 10 feet |
| Rear Setback Ⓓ | |
Subterranean | 10 feet |
Pedestal (up to 33 feet in height) | |
Tower | 10 feet + 1 foot for every 1 foot above 33 feet |
| |
| BUILDING HEIGHT | |
| Maximum Height Ⓔ | 45 feet |
Waterfront Lots | 50 feet |
Parking Garages as Main Use | See section 5.3.10 |
| |
| |
| USES TABLE (TC-C) | |
|---|---|
| RESIDENTIAL | |
Single family detached dwelling | P |
| Apartments | P* |
| Townhomes | P* |
| Co-living | P* |
| Live-work | P* |
| LODGING | |
| Hotels | P* |
| Micro-hotel | Pro |
| OFFICE | |
| Restaurants | P |
| Outdoor Café | P |
| Outdoor Bar Counter | A |
| Artisanal retail with off-site sales | C |
| Outdoor entertainment establishment | C* |
| Open air entertainment establishment | C* |
| Self Storage Warehouse (in accordance with the requirements set forth in section 7.2.14.6.b.2.A.IX) | P |
| Pawnshop | Pro |
| Tobacco and vape dealers | Pro |
| Package liquor stores | Pro |
| Check cashing stores | Pro |
| Occult science establishment | Pro |
| Tattoo studios | Pro |
| Gambling and casinos pursuant to section 7.1.8 | Pro |
| Rentals or leases of mopeds, motorcycles, and motorized bicycles pursuant to section 7.1.8 | Pro |
| Offices | P |
| COMMERCIAL | |
| Commercial establishment over 25,000 SF | C |
| Retail establishment over 25,000 SF | C* |
| Retail | P |
| Alcoholic beverage establishments | P |
| Artisanal retail for on-site sales only | P |
| Grocery store | P |
| Kennel | P |
| Indoor entertainment establishment | P* |
| Neighborhood fulfillment center | P* |
| Retail Fulfillment Centers pursuant to section 7.1.8 | Pro |
| CIVIC | |
| Religious institution | C |
| CIVIL SUPPORT | |
| Public and private institutions | C |
| EDUCATIONAL | |
| Day care facility | C |
| Schools | C P* |
| INDUSTRIAL | |
| OTHER | |
| Neighborhood impact establishment | C* |
Key P – Main Permitted Use C - Conditional Use A - Accessory Use Pro - Prohibited Use *See Supplemental Use Regulations below | |
The following supplemental regulations shall apply to specific uses in the TC-C district:
There shall be no variances regarding the regulations for permitted, prohibited, accessory, exception, special exception, and conditional uses in section 7.2.14.6.b.1; and the supplemental regulations of such uses in section 7.2.14.6.b.2.
Apartment hotels, and hotels (pursuant to sections 2.7.2, which requires a Commission warrant, and 7.5.4.5).
Use limitations.
The following limits shall apply for residential and hotel uses:
Hotel rooms. There shall be a limit of 1,762 hotel units within the TC-C district.
Apartments. There shall be a limit of 500 apartment units built within the TC-C district over and above the maximum allowable density and intensity, prior to the adoption of the FAR increase approved on November 7, 2017. This limit shall not authorize exceeding the maximum density authorized within the adopted comprehensive plan.
Workforce and affordable housing and co-living units. There shall be a combined limit of 500 workforce housing, affordable housing, or co-living units built within the TC-C district over and above the maximum allowable density prior to the adoption of the FAR increase approved on November 7, 2017. However, a co-living unit that is less than 550 square feet shall count as half of a unit for the purposes of calculating the maximum number of units. This limit shall not authorize exceeding the maximum density authorized within the adopted comprehensive plan.
Co-living units. Notwithstanding the foregoing limitations, there shall be a limit of 529 coliving units built within the TC-C district. Additionally, co-living units shall only be permitted for projects that have obtained a building permit process number by October 1, 2023.
Units for the uses identified in sections 7.2.14.6.b.2.A.II.(1).i-iii above, shall be applied for and allocated on a first-come, first-served basis concurrent with the earlier of a completed application for land use board approval or completed application for building permit that includes the proposed number of units, and meets all applicable requirements of the land development regulations, as determined by the planning director. Any allocation of units pursuant to this subsection shall be subject to the following additional provisions:
In the event that a land use board application is not approved by the applicable board, or in the event that an applicant with an approved land use board order fails to obtain a building permit before the board order expires, all units allocated pursuant to the filing of the completed land use board application shall be released to the pool and shall become available to new applicants.
Upon the issuance of a building permit for units approved pursuant to a land use board order, the allocation of such units shall remain reserved. If the building permit or building permit application expires or is abandoned, any units allocated pursuant to the building permit application shall be released to the pool; and shall become available to new applicants. Prior to reactivating an expired or abandoned building permit or building permit application, an applicant shall first be required to obtain written confirmation from the planning department that sufficient units remain available.
If the use for which credits are allocated pursuant to a land use board order or building permit changes to a use that does not require an allocation of units, the allocation of units shall be released and shall become available to new applicants.
Units for the uses identified in section 7.2.14.6.b.2.A.II.(1).iv. above, shall be applied for and allocated on a first-come, first-served basis concurrent with a completed application for land use board approval that includes the proposed number of units, and meets all requirements of the land development regulations, as determined by the planning director. Any allocation of units pursuant to this subsection shall be subject to the following additional provisions:
In the event that a land use board application is not approved by the applicable board, or in the event that an applicant with an approved land use board order fails to obtain a building permit before the board order expires. all units allocated pursuant to the filing of the completed land use board application shall be released to the pool and shall become available to new applicants.
Upon the issuance of a building permit for units approved pursuant to a land use board order, the allocation of such units shall remain reserved. In the event that the building permit expires or is abandoned, any units allocated pursuant to the building permit shall be released to the pool, and shall become available to new applicants. Prior to reactivating an expired or abandoned building permit or building permit application, an applicant shall first be required to obtain written confirmation from the planning department that sufficient units remain available.
If the use for which credits are allocated pursuant to a land use board order changes to a use that does not require an allocation of units. the allocation of units shall be released and shall become available to new applicants.
Any such units permitted the boundaries of the TC-C district, after November 7, 2017 shall be counted towards the maximum limit established herein.
Notwithstanding the use limitations in sections 7.2.14.6.b.2.A.II.(1).i-iii. above, the planning director or designee may permit simultaneous increase and decreases in the above described uses, provided that the impacts of the changes will not exceed originally approved impacts, as measured by total weekday peak hour (of adjacent street traffic, one hour between 4:00 p.m. and 6:00 p.m.) vehicle trips, pursuant to the Institute of Transportation Engineers Trip Generation Manual, as may be amended from time to time.
There shall be a limit of two retail establishments over 25,000 square feet within the TC-C district. Credits for such retail establishments shall be allocated on a first-come, first serve basis as part of an application for land use board approval, building permit, or business tax receipt, whichever comes first. If said approval, permit, or receipt expires and the establishment is not built or ceases operations, the credits shall become available to new applicants. Any such establishment permitted in the area of the TC-C district, after November 7, 2017, shall be counted towards the maximum limit established herein.
There shall be a limit of two neighborhood fulfillment centers within the TC-C district. Credits for such establishments shall be allocated on a first-come, first serve basis as part of an application for land use board approval, building permit, or business tax receipt, whichever comes first. If said approval, permit, or receipt expires and the establishment is not built or ceases operations, the credits shall become available to new applicants. Any such establishment permitted in the area of the TC-C district, after November 7, 2017, shall be counted towards the maximum limit established herein.
For the purposes of the TC-C district, the definition for a neighborhood impact establishments established in section 1.2.2 is modified as follows:
"neighborhood impact establishment" means:
An alcoholic beverage establishment or restaurant, not also operating as an entertainment establishment or dance hall (as defined in section 1.2.2), with an area of 10,000 square feet or greater of areas accessible by patrons; or
An alcoholic beverage establishment or restaurant, which is also operating as an entertainment establishment or dance hall (as defined in section 1.2.2), with an area of 5,000 square feet or greater of areas accessible by patrons.
The primary means of pedestrian ingress and egress for alcoholic beverage establishments, entertainment establishments, neighborhood impact establishments, commercial establishment over 25,000 square feet, retail establishment over 25,000, or artisanal retail uses in the TC-C district shall not be permitted within 200 feet of an RM-1 district boundary. This shall not apply to emergency egress.
The following requirements shall apply to indoor entertainment establishments and outdoor and open air entertainment establishments:
Indoor entertainment establishments shall be required to install a double door vestibule at all access points, except for emergency exits.
Indoor entertainment shall cease operations no later than 5:00 a.m. and commence entertainment no earlier than 9:00 a.m.
Open air entertainment shall cease operations no later than 11:00 p.m. on Sunday through Thursday, and 12:00 a.m. on Friday and Saturday; operations shall commence no earlier than 9:00 a.m. on weekdays and 10:00 a.m. on weekends; however, the planning board may establish stricter requirements.
There shall be a maximum of ten alcoholic beverage establishments that are not also operating as a restaurant or entertainment establishment permitted within this zoning district. Credits for entertainment establishments shall be allocated on a first-come, first serve basis as part of an application for land use board approval, building permit, or business tax receipt, whichever comes first. If said approval, permit, or receipt expires and the entertainment establishment is not built or ceases operations, the credits shall become available to new applicants. Any entertainment establishment permitted in the area of the TC-C district, after November 7, 2017, shall be counted towards the maximum limit established herein.
Entertainment establishments shall also be restaurant supper clubs. Such restaurant supper clubs shall be open and able to serve food at a minimum between the hours of 10:00 a.m. and 2:00 p.m. on days in which the entertainment establishment will be open and additionally during hours in which entertainment occurs and/or alcohol is sold.
Entertainment uses shall be subject to the requirements in section 7.5.5.4.
Restaurants with sidewalk café permits or outdoor cafés shall comply with section 82-366 et seq. in the General Ordinances.
Self-storage warehouse use shall only be permitted in accordance with the following:
Only those properties containing an existing self-storage use as of January 1, 2022, shall be permitted to have self-storage as a use in addition to commercial, office, residential, or any combination thereof.
New development on eligible properties described above are only eligible to have a self-storage use if the property owner elects, at the owner's sole discretion, to voluntarily execute a restrictive covenant running with the land, in a form approved by the City Attorney, affirming that, for a term of a minimum of 30 years, none of the residential units on the property shall be leased or rented for a period of less than six months and one day.
Floor area used for self-storage (exclusive of storefront office use for the self--storage facility) shall not exceed 50% of the gross floor area of the building.
All self-storage uses (other than storefront office use for the self-storage facility) shall be located above the ground floor and shall be fully concealed from view at all levels along all street and sidewalk sides of the property.
Qualifying educational facilities shall be eligible for the School Use Incentives as identified in section 7.1.13 of these land development regulations.
Development Regulations (TC-C)
The development regulations for the Town Center Central Core District are as follows:
| DEVELOPMENT REGULATIONS TABLE (TC-C (TOWN CENTER CENTRAL CORE)) | ||
|---|---|---|
| Maximum FAR | 3.5 | |
| Maximum Density (Dwelling Units per Acre) | 150 DUA (80% bonus for workforce or affordable units) (4) (5) | |
| MINIMUM UNIT SIZE (SQUARE FEET) | ||
| Apartments/Multi-family Units | ||
New Construction | 550 SF | |
Non-elderly and elderly low and moderate income housing | 400 SF | |
Workforce Housing | 400 SF | |
Rehabilitated Buildings | 400 SF | |
Co-living Units | 375 SF with a minimum of 20% of the gross floor area of the building consisting of amenity space on the same site. (6) | |
| Lodging and Hotel Units | ||
Hotel Units | 335 SF | |
| Minimum Lot Area (square feet) | N/A | |
| Minimum Lot Width (feet) | N/A | |
| BUILDING SETBACKS | ||
| Front Setback (feet) Ⓐ 69th Street (Class B Street) | Min setback from property line | Allowable Habitable Encroachments into Setback |
Subterranean | 10 feet | 5 feet |
Pedestal (Grade to 55 feet) | ||
Tower (55 feet to max height) | 125 feet | 5 feet |
| Front Setback (feet) Ⓐ 70th Street Alley Line (Class D Street) | Min setback from property line | Allowable Habitable Encroachments into Setback |
Subterranean | 10 feet | 3 feet |
Pedestal (Grade to 55 feet) | ||
Tower (55 feet to max height) | ||
| Front Setback (feet) Ⓐ 71st Street (Class A Street) | Min setback from property line | Allowable Habitable Encroachments into Setback |
Subterranean | 10 feet | 0 feet |
Pedestal (Grade to 55 feet) | ||
Tower (55 feet to max height) | 25 feet | 5 feet |
| Front Setback (feet) Ⓐ 72nd Street (Class A Street) | Min setback from property line | Allowable Habitable Encroachments into Setback |
Subterranean | 20 feet from back of curb line; curb line location shall be at the time of permitting; however, it shall be no less than 5 feet from the property line | 5 feet |
Pedestal (Grade to 55 feet) | ||
Tower (55 feet to max height) | ||
| Front Setback (feet) Ⓐ Collins Avenue (Class A Street) | Min setback from property line | Allowable Habitable Encroachments into Setback |
Subterranean | 10 feet | 5 feet |
Pedestal (Grade to 55 feet) | ||
Tower (55 feet to 125 feet) | 20 feet | 5 feet |
Tower (125 feet to max height) | 35 feet | 5 feet |
| Front Setback (feet) Ⓐ Indian Creek Drive (Class A Street) | Min setback from property line | Allowable Habitable Encroachments into Setback |
Subterranean | 10 feet | 5 feet |
Pedestal (Grade to 55 feet) | ||
Tower (55 feet to max height) | ||
| Front Setback (feet) Ⓐ Abbot Avenue and Dickens Avenue (Class B Street) | Min setback from property line | Allowable Habitable Encroachments into Setback |
Subterranean | 10 feet | 5 feet |
Pedestal (Grade to 55 feet) | ||
Tower (55 feet to max height) | ||
| Side, Interior Setback (feet) Ⓒ | Min setback from property line | Allowable Habitable Encroachments into Setback |
| Lots greater than 110 feet wide | ||
Subterranean | 0 feet | 0 feet |
Pedestal (Grade to 55 feet) | ||
Tower (55 feet to max height) | 30 feet | 10 feet |
| Lots 110 feet wide or less | ||
Subterranean | 0 feet | 0 feet |
Pedestal (Grade to 75 feet) | ||
Tower (75 feet to max height) | 30 feet | 10 feet |
| Rear Setback (feet) Ⓓ | Min setback from property line | Allowable Habitable Encroachments into Setback |
Subterranean | 0 feet 5 feet (abutting an alley) | 0 feet |
Pedestal (Grade to 55 feet) | ||
Tower (55 feet to max height) | 30 feet 20 feet (abutting and alley) | 10 feet |
| ||
| BUILDING HEIGHT | ||
| Maximum Height Ⓔ | 125 feet (3) | |
| Public Benefits Program: | ||
For lots that are between 20,000 square feet and 45,000 square feet | 165 feet (1) (3) | |
For lots that are greater than 45,000 square feet | 200 feet (1) (3) | |
For lots that are greater than 50,000 square feet and located north of 71st | 220 feet (1) (2) (3) | |
| ||
| ||
| Certification Compliance Schedule | |
|---|---|
| Level of Certification Achieved | Sustainability Fee Reimbursement to Participant for Meeting Certain Green Building Certification Levels |
| Failure to obtain certification | Zero percent refund of bond or payment of sustainability fee |
| LEED certified | 30% refund of bond or payment of sustainability fee |
| LEED silver certified | 40% refund of bond or payment of sustainability fee |
| LEED gold certified or international living future institute petals or net zero energy certified | 60% refund of bond or payment of sustainability fee |
| LEED platinum or international living future institute living building challenge certified | 100% refund of bond or payment of sustainability fee |
| R-PS1 | Medium-Low Density |
| R-PS2 | Medium Density |
| R-PS3 | Medium-High Density |
| R-PS4 | High Density |
| USES TABLE (R-PS) | |||||
|---|---|---|---|---|---|
| R-PS 1, 2 | R-PS 3, 4 | ||||
| RESIDENTIAL | |||||
| Single-family | P | P | |||
| Townhome | P | P | |||
| Apartment | P | P | |||
| LODGING | |||||
| Apartment hotel pursuant to sections 2.7.2, which requires a Commission warrant, and 7.5.4.5 | Pro | P | |||
| Hotel pursuant to sections 2.7.2, which requires a Commission warrant, and 7.5.4.5 | Pro | P | |||
| Suite hotels pursuant to sections 2.7.2, which requires a Commission warrant, and 7.5.4.5 | Pro | P | |||
| Hostel pursuant to sections 2.7.2, which requires a Commission warrant, and 7.5.4.5 | Pro | Pro | |||
| OFFICE | |||||
| COMMERCIAL | |||||
| Commercial | Pro | Pro | |||
| Accessory outdoor bar counters, provided that the accessory outdoor bar counter is not operated or utilized between midnight and 8:00 a.m.; however, for an accessory outdoor bar counter which is located on a property that is abutting a property with an apartment unit, the accessory outdoor bar counter may not be operated or utilized between 8:00 p.m. and 8:00 a.m. | Pro | Pro | |||
| Entertainment establishments | Pro* | Pro* | |||
| Outdoor entertainment establishments | Pro | Pro | |||
| Open air entertainment establishments | Pro | Pro | |||
| Neighborhood Impact establishments | Pro | Pro However, in the R-PS4 district, this use is permitted, as an accessory use in oceanfront hotels with 250 or more hotel units, as a conditional use. Access to the establishment entrance shall be only from the interior lobby of the hotel and not from the street. In addition, in the R-PS4 district, this use is also permitted as an accessory use to an oceanfront apartment building with more than 300 units that is adjacent to a park, as a conditional use, provided that the accessory use is located in a separate building from the primary use, and the accessory use is a minimum of 8,000 square feet in size. | |||
| Alcoholic beverage establishments pursuant to the regulations set forth in chapter 6 of General Ordinances | Pro | A * | |||
| Pawnshop | Pro* | Pro* | |||
| Dance Hall | Pro* | Pro* | |||
| Accessory Restaurant or Bar that serve Alcohol | Pro | A* | |||
| Gambling and casinos pursuant to section 7.1.8 | Pro | Pro | |||
| Rentals or leases of mopeds, motorcycles, and motorized bicycles pursuant to section 7.1.8 | Pro | Pro | |||
| Neighborhood and Retail Fulfillment Centers pursuant to section 7.1.8 | Pro | Pro | |||
| CIVIC | |||||
| Religious Institutions with occupancy of 199 persons or less | P | P | |||
| Religious Institutions with occupancy of more than 199 persons | C | C | |||
| Institutional | C | C | |||
| CIVIL SUPPORT | |||||
| EDUCATIONAL | |||||
| Schools | C | ||||
| INDUSTRIAL | |||||
| Industrial Uses Pro Pro | |||||
| OTHER | |||||
| Commercial and Noncommercial Parking Lots and Garages | C | C | |||
| P—Main Permitted Use C—Conditional use A — Accessory use Pro—Prohibited Use * See Supplemental Uses Below | |||||
| DEVELOPMENT REGULATIONS TABLE (R-PS) | |||||
|---|---|---|---|---|---|
| R-PS1 | R-PS2 | R-PS3 | R-PS4 | ||
| Maximum FAR | 1.25 | 1.50 | 1.75 | 2.0 (8) | |
| Maximum Density (Dwelling Units per Acre) | 57 DUA (80% bonus for workforce or affordable units) | 70 DUA (80% bonus for workforce or affordable units) | 85 DUA (80% bonus for workforce or affordable units) | 102 DUA (80% bonus for workforce or affordable units) | |
| MINIMUM UNIT SIZES (SQUARE FEET) | R-PS1 | R-PS2 | R-PS3 | R-PS4 | |
| Apartments/Multi-family Units | |||||
New Construction | 700 SF | 650 SF | 600 SF | 550 SF | |
Non-elderly and elderly low and moderate income housing | 400 SF | ||||
Workforce Housing | 400 SF | ||||
Rehabilitated Buildings | 400 SF | ||||
| Lodging and Hotel Units | N/A | N/A | 335 SF + | 335 SF + | |
| MINIMUM AVERAGE UNIT SIZES (SQUARE FEET) | R-PS1 | R-PS2 | R-PS3 | R-PS4 | |
| Apartments/Multi-family Units | |||||
New Construction | N/A (6) | N/A (6) | 850 SF (6) (7) (8) | 800 SF (6) (7)(8) | |
Non-elderly and elderly low and moderate income housing | N/A (6) | N/A (6) | 400 SF (6) (7)(8) | 400 SF (6) (7)(8) | |
Workforce Housing | N/A (6) | N/A (6) | 400 SF (6) (7)(8) | 400 SF (6) (7)(8) | |
Rehabilitated Buildings | N/A (6) | N/A (6) | 550 SF (6) (7)(8) | 550 SF (6) (7)(8) | |
| Lodging and Hotel Units | N/A | ||||
| LOT OCCUPATION | R-PS1 | R-PS2 | R-PS3 | R-PS4 | |
| Minimum Lot Area (square feet) | 5,750 | 5,750 | 5,750 | 5,750 | |
Minimum Lot Width (feet) | 50feet | 50 feet | 50 feet | 50 feet | |
| Required open space ratio | 0.60, See section 7.2.15.5 | 0.65, See section 7.2.15.5 | 0.70, See section 7.2.15.5 | 0.70, See section 7.2.15.5 | |
| BUILDING SETBACKS | |||||
| Front Setback (feet) Ⓐ | R-PS1 | R-PS2 | R-PS3 | R-PS4 | |
Subterranean | 5 feet | ||||
Pedestal | 5 feet (1) (2) | ||||
Tower | 50 feet | 60 feet – within the Ocean Beach Historic District (however, for residential apartment structures seeking approval under section 7.2.15.2.f.3 below, the tower setback shall be determined by the historic preservation board.) (3) | |||
| Side, Facing a Street Setback (feet) Ⓑ | R-PS1 | R-PS2 | R-PS3 | R-PS4 | |
Subterranean | 5 feet | ||||
Pedestal | 5 feet (1) | ||||
Tower | The required pedestal setback plus 10% the height of the building. (3) | ||||
| Side, Interior Setback (feet) Ⓒ | R-PS1 | R-PS2 | R-PS3 | R-PS4 | |
Subterranean | 7.5 feet - except when (4) below applies. 5 feet - Lots 50 feet wide or less 15 feet - on lots greater than 50 feet in width - for any portion of the pedestal above 35 feet in height - (for residential apartment structures seeking approval under section 7.2.15.2.f.3 below) (4) | ||||
Pedestal | |||||
Tower | The required pedestal setback plus 10% the height of the building 15 feet - for residential apartment structures seeking approval under section 7.2.15.2.f.3 below (3) | ||||
| Rear Setback (feet) Ⓓ | R-PS1 | R-PS2 | R-PS3 | R-PS4 | |
Subterranean | 10% of lot depth – Nonoceantront lots 20% of lot depth, 50 feet minimum from bulkhead line – Oceanfront Lots | ||||
Pedestal | |||||
Tower | 15% of lot depth – Nonoceanfront lots 25% of lot depth, 75 feet minimum from bulkhead line – Oceanfront lots however, for residential apartment structures seeking approval under section 7.2.15.2.f.3 below, the tower setback shall be the same as the pedestal setback. (3) | ||||
| |||||
| BUILDING HEIGHT | R-PS1 | R-PS2 | R-PS3 | RR-PS4 | |
| Maximum Height (feet) Ⓔ | 45 feet (5) 40 feet - Lots 50 feet wide or less (5) | 80 feet-Nonoceanfront Lots (5) 100 feet- Oceanfront Lots (5)(9) 40 feet - Lots 50 feet wide or less (5) | |||
| |||||
| |||||
| C-PS1 | Limited mixed-use commercial |
| C-PS2 | General mixed-use commercial |
| C-PS3 | Intensive mixed-use commercial |
| C-PS4 | Intensive mixed-use phased bayside commercial |
| USES TABLE (C-PS) | |
|---|---|
| C-PS 1, 2, 3, 4 | |
| RESIDENTIAL | |
| Single-family | P |
| Townhome | P |
| Apartment | P |
| LODGING | |
| Apartment hotel pursuant to sections 2.7.2, which requires a Commission warrant, and 7.5.4.5 | P* |
| Hotel pursuant to sections 2.7.2, which requires a Commission warrant, and 7.5.4.5 | P* |
| Suite hotels pursuant to sections 2.7.2, which requires a Commission warrant, and 7.5.4.5 | P* |
| Hostel pursuant to sections 2.7.2, which requires a Commission warrant, and 7.5.4.5 | Pro in C-PS1 and C-PS2 P in C-PS3 and C-PS4 |
| OFFICE | |
| COMMERCIAL | |
| Commercial | P |
| Accessory outdoor bar counters, provided that the accessory outdoor bar counter is not operated or utilized between midnight and 8:00 a.m.; however, for an accessory outdoor bar counter which is located on a property that is abutting a property with an apartment unit, the accessory outdoor bar counter may not be operated or utilized between 8:00 p.m. and 8:00 a.m. | Pro in C-PS1, C-PS2, C-PS3, and C-PS4 (except as provided below). A in CPS-4 North of 5th Street only. |
| Kennel | P in C-PS2 and C-PS4 Pro in C-PS1 and C-PS3 |
| Entertainment establishments | Pro P for properties fronting directly on Washington Avenue as of January 1, 2022 and located north of Fifth Street* |
| Outdoor entertainment establishments | Pro C for properties fronting directly on Washington Avenue as of January 1, 2022 and located north of Fifth Street* |
| Open air entertainment establishments | Pro C for properties fronting directly on Washington Avenue as of January 1, 2022 and located north of Fifth Street* |
| Pawnshops | Pro* |
| Dance Halls | Pro* |
| Neighborhood Impact Structure | C* |
| Gambling and casinos pursuant to section 7.1.8 | Pro |
| Rentals or leases of mopeds, motorcycles, and motorized bicycles pursuant to section 7.1.8 | Pro |
| Rentals or leases of any motor vehicle not described in section 7.1.8 | Pro on properties located north of 5th Street, between the east side of Lenox Avenue and the west side of Washington Avenue, within the C-PS2 district P elsewhere |
| Sale of any motor vehicle, including, but not limited to, automobiles, golf carts, low-speed vehicles, mopeds, motorcycles, motorized bicycles, motorized scooters, and others described in section 7.18 | Pro on properties located north of 5th Street, between the east side of Lenox Avenue and the west side of Washington Avenue, within the C-PS2 district P elsewhere |
| Convenience stores | Pro on properties located south of 5th Street and located north of 5th Street, between the east side of Lenox Avenue and the west side of Washington Avenue, within the C-PS2 district P elsewhere |
| Tobacco/vape dealers pursuant to section 7.5.5.9 | Pro on properties located south of 5th Street and located north of 5th Street, between the east side of Lenox Avenue and the west side of Washington Avenue, within the C-PS2 district P elsewhere |
| Liquor store and the retail sale of alcohol for off-premises consumption | Pro on properties located south of 5th Street and located north of 5th Street, between the east side of Lenox Avenue and the west side of Washington Avenue, within the C-PS2 district P elsewhere |
| Neighborhood and Retail Fulfillment Centers pursuant to section 7.1.8 | Pro |
| CIVIC | |
| Institutional | C |
| Religious Institutions with occupancy of 199 persons or less | P |
| Religious Institutions with occupancy of more than 199 persons | C |
| CIVIL SUPPORT | |
| EDUCATIONAL | |
| Schools | C P* |
| INDUSTRIAL | |
| Industrial Uses | Pro |
| OTHER | |
| Neighborhood impact establishments | C |
| Commercial and Non-Commercial Parking Lots and Garages | C |
Key P—Main Permitted Use C—Conditional use A — Accessory use Pro—Prohibited Use *See Supplemental Use Regulations Below | |
The “Block 51 Properties” shall mean Lots 5-9, 11, 12, 18-30 (and adjacent 10-foot strip of land), Block 51, Ocean Beach Addition No. 3, PB2, Pg81, Public Records of Miami-Dade County. MAP EXHIBIT-3
The “Block 51 Swap Property” shall mean Lot 4, Block 51, Ocean Beach Addition No. 3, PB2, Pg81, Public Records of Miami-Dade County. MAP EXHIBIT-4
The “Block 52 Properties” shall mean Lots 4-11, Block 52, Ocean Beach Addition No. 3, PB2, Pg81, Public Records of Miami-Dade County. MAP EXHIBIT-5
The “Block 1 Properties” shall mean Lots 1-3, 5-13 (and alley adjacent thereto), 17, Block 1, Ocean Beach Florida, PB2, Pg38, Public Records of Miami-Dade County. MAP EXHIBIT-6
The “Goodman Terrace and Hinson Parcels” shall mean those properties commonly known as the Goodman Terrace and Hinson Parcels, located south of South Pointe Drive and West of Washington Avenue, whose legal description is on file in the City Clerk’s Office. MAP EXHIBIT-7
The “Retail Parcel” shall mean the commercial building located south of South Pointe Drive, between Washington Avenue and the theoretical extension of Collins Avenue. MAP EXHIBIT-8
| DEVELOPMENT REGULATIONS TABLE (C-PS) | ||||
|---|---|---|---|---|
| C-PS1 | C-PS2 | C-PS3 | C-PS4 | |
| Maximum FAR | 1.0 1.5 for the Block 51 Properties (MAP EXHIBIT-3) and Block 52 Properties (MAP EXHIBIT-5) 2.0 for the Block 1 Properties (MAP EXHIBIT-6) | 2.0 | 2.5 | 2.5 |
FAR Residential and/or hotel development | 1.5 (4) | 1.75 (5) | 2.5 (6) (except on the Goodman Terrace and Hinson Parcels (MAP EXHIBIT-7), the FAR shall be that necessary to achieve 305,500 square feet (estimated at 3.2 FAR), and 300 feet height maximum for the Goodman Terrace and Hinson Parcels, and open space ratio 0.60 measured at or above grade) | 2.5 (6) (open space ratio shall be 0.60 measured at or above grade) |
| Maximum Density (Dwelling Units per Acre) | 80 DUA (80% bonus for workforce or affordable units) | 106 DUA (80% bonus for workforce or affordable units) | 125 DUA (80% bonus for workforce or affordable units) | 125 DUA (80% bonus for workforce or affordable units) |
| MINIMUM UNIT SIZES (SQUARE FEET) | C-PS1 | C-PS2 | C-PS3 | C-PS4 |
| Apartments/Multifamily Units | ||||
New Construction | 650 SF | 600 SF | 550 SF | 550 SF |
Non-elderly and elderly low and moderate income housing | 400 SF | |||
Workforce Housing | 400 SF | |||
Rehabilitated | 400 SF | |||
| Lodging and Hotel Units | 335 SF + | |||
| MINIMUM AVERAGE UNIT SIZES (SQUARE FEET) | C-PS1 | C-PS2 | C-PS3 | C-PS4 |
| Apartments/Multifamily Units | ||||
New Construction | 900 SF (9) (10) | 850 SF (9) (10) | 800 SF (9) (10) | 800 SF (9) (10) |
Non-elderly and elderly low and moderate income housing | 400 SF (9) (10) | |||
Workforce Housing | 400 SF (9) (10) | |||
Rehabilitated Buildings | 550 SF (9) (10) | |||
| Lodging and Hotel Units | N/A | |||
| LOT OCCUPATION | C-PS1 | C-PS2 | C-PS3 | C-PS4 |
| Minimum Lot Area (square feet) | 6,000 SF | |||
| Minimum Lot Width (feet) | 50 feet | |||
| BUILDING SETBACKS | ||||
| C-PS1 | C-PS2 | C-PS3 | C-PS4 | |
| Building setbacks for residential and/or hotel development | Pursuant to R-PS2 district regulations except maximum building height for residential and mixed use buildings shall be 75 feet | Pursuant to R-PS3 district regulations except maximum building height for residential and mixed use buildings shall be 75 feet | Pursuant to R-PS4 district regulations | Pursuant to R-PS4 district regulations |
| Front Setback (feet) Ⓐ | C-PS1 | C-PS2 | C-PS3 | C-PS4 |
Subterranean | 0 feet | |||
Pedestal | 0 feet (2) (3) 5 feet – for residential (2) (3) 20 feet from adjacent streets above the first 40 feet in height for the Block 1 Properties (MAP EXHIBIT-6), Block 51 Properties (except lots 11 and 12) (MAP EXHIBIT-3), Block 51 Swap Properties (MAP EXHIBIT-4) and Block 52 Properties (MAP EXHIBIT-5) (2) (3) | |||
Tower | ||||
| Side, Facing a Street Setback (feet) Ⓑ | C-PS1 | C-PS2 | C-PS3 | C-PS4 |
Subterranean | 0 feet | |||
Pedestal | 0 feet (2) Residential uses shall follow the R-PS1, 2, 3, 4 setbacks (See section 7.2.15.2.f) | |||
Tower | ||||
| Side, Interior Setback (feet) Ⓒ | C-PS1 | C-PS2 | C-PS3 | C-PS4 |
Subterranean | 0 feet | |||
Pedestal | 0 feet 7.5 feet - when abutting a residential district Residential uses shall follow the R-PS1, 2, 3, 4 setbacks (See section 7.2.15.2.f) | |||
Tower | ||||
| Rear Setback (feet) Ⓓ | C-PS1 | C-PS2 | C-PS3 | C-PS4 |
Subterranean | 0 feet | |||
Pedestal | 5 feet 10 feet - when abutting a residential district 3.5 feet for the Block 1 Properties (MAP EXHIBIT-6), Block 51 Properties (except lots 11 and 12) (MAP EXHIBIT-3), Block 51 Swap Properties (MAP EXHIBIT-4) and Block 52 Properties (MAP EXHIBIT-5) 0 feet - separated by a waterway | |||
Tower | ||||
| ||||
| BUILDING HEIGHT | ||||
| C-PS1 | C-PS2 | C-PS3 | C-PS4 | |
| Maximum Height (feet) Ⓔ | 40 feet (1) 75 feet (1) – for the Block 51 Properties (MAP EXHIBIT-3), the Block 51 Swap Property (MAP EXHIBIT-4). Block 52 Properties (MAP EXHIBIT-5)., and Block 1 Properties (MAP EXHIBIT-6). 75 feet - For residential and mixed use buildings | 50 feet (1) – East of Lenox Ave (MAP EXHIBIT-9) 75 feet – West of Lenox Ave (MAP EXHIBIT-10) 75 feet - For residential and mixed use buildings 75 feet – office building (7) (8) (11) | 80 feet (1) | 150 feet (1) |
| ||||
(12) Notwithstanding the building height regulations set forth above, the following regulations shall apply to properties located from 5th Street to 6th Street, between the east side of Lenox Avenue and the west side of Washington Avenue, within the C- PS2 district, except for those lots with frontage on Lenox Avenue and Washington Avenue as of January 1, 2022; in the event of a conflict within this division, the following provisions shall control: 1. In the event a lot with frontage on Washington Avenue as of January 1, 2022, is unified with a lot that does not have frontage on Washington Avenue, such unified site shall thereafter be subject to the regulations herein. 2. In the event a lot with frontage on Lenox Avenue as of January 1, 2022, is unified with another lot, such unified site shall thereafter be subject to the regulations herein. 3. The maximum permitted height within the first four platted lots measured southward from the south side of 6th Street shall be as follows: A. For development sites consisting solely of the first two platted lots to the south of 6th Street, either as a single lot or a unified development site, the maximum building height shall not exceed 50 feet, regardless of the use of the property. B. For development sites consisting solely of the first three platted lots to the south of 6th Street, as part of a unified development site, the maximum building height shall not exceed 28 feet within the first two platted lots to the south of 6th Street and 50 feet for the remainder of the development site, regardless of the use of the property. The Historic Preservation Board may allow up to 35 feet within the first platted lot fronting 6th Street and up to 50 feet for the second platted lot to the south of 6th Street; however, an affirmative vote of five members of the Historic Preservation Board shall be required to approve any increase in height authorized in this sentence on the first two platted lots to the south of 6th Street. For a development site consisting solely of the third platted lot south of 6th Street, the maximum building height shall not exceed 50 feet, regardless of the use of the property. C. For unified development sites consisting of four or more platted lots measured from the south side of 6th Street, the maximum building height shall not exceed 28 feet within the first two platted lots to the south of 6th Street and the maximum permitted height shall not exceed 40 feet within the third platted lot to the south side of 6th Street, regardless of the use of the property. The remainder of the development site shall be subject to the height limits in this section but shall not exceed a maximum height of 75 feet for a residential use. 4. A minimum setback of five (5’) feet shall be required along all front yards and side yards facing a street, in order to provide a clear pedestrian path that exceeds the width of the abutting sidewalk. This requirement may be waived by the Historic Preservation Board for portions of a property containing a contributing building. 5. On properties abutting an alley, no front- or street-side curb cut shall be permitted. If no alley exists, any curb-cut required shall not exceed 12 feet in width. 6. Notwithstanding the provisions of section 7.5.2.1 of these land development regulations, roof-top additions shall not exceed the applicable maximum building height set forth in this table (including footnotes). | ||||
| USES TABLE (RM-PS1) | |
|---|---|
| RM-PS1 | |
| RESIDENTIAL | |
| Single-family | P |
| Townhome | P |
| Apartment | P |
| LODGING | |
| Apartment hotel pursuant to section 7.5.4.5 | Pro |
| Hotel pursuant to section 7.5.4.5 | Pro |
| Suite hotel pursuant to section 7.5.4.5 | Pro |
| Hostel pursuant to section 7.5.4.5 | Pro |
| OFFICE | |
| COMMERCIAL | |
| Commercial | P (limited to stores and restaurants) (8% of floor area (1)) |
| Accessory outdoor bar counters, provided that the accessory outdoor bar counter is not operated or utilized between midnight and 8:00 a.m.; however, for an accessory outdoor bar counter which is located on a property that is abutting a property with an apartment unit, the accessory outdoor bar counter may not be operated or utilized between 8:00 p.m. and 8:00 a.m. | Pro |
| Entertainment establishments | Pro* |
| Outdoor entertainment establishments | Pro |
| Open air entertainment establishments | Pro |
| Neighborhood impact establishments | Pro |
| Pawnshops | Pro* |
| Dance Halls | Pro* |
| Gambling and casinos pursuant to section 7.1.8 | Pro |
| Rentals or leases of mopeds, motorcycles, and motorized bicycles pursuant to section 7.1.8 | Pro |
| Neighborhood and Retail Fulfillment Centers pursuant to section 7.1.8 | Pro |
| CIVIC | |
| Institutional | C (1.25% of floor area**) |
| CIVIL SUPPORT | |
| EDUCATIONAL | |
| INDUSTRIAL | |
| Industrial Uses | Pro* |
| OTHER | |
Key P—Main Permitted Use C—Conditional use A — Accessory use Pro—Prohibited Use *See Supplemental Use Regulations below 1. Floor area in the RM-PS1 district refers to total floor area in project. | |
| DEVELOPMENT REGULATIONS TABLE (RM-PS1) | |
|---|---|
| Maximum FAR | 1.5 |
| Maximum Density (Dwelling Units per Acre) | 102 DUA (80% bonus for workforce or affordable units) |
| MINIMUM UNIT SIZES (SQUARE FEET) | |
| Apartments/Multi-family Units | |
New Construction | 600 SF |
Non-elderly and elderly low and moderate income housing | 400 SF |
Workforce Housing | 400 SF |
Rehabilitated Buildings | 400 SF |
| Lodging and Hotel Units | N/A |
| MINIMUM AVERAGE UNIT SIZES (SQUARE FEET) | |
| Apartments/Multi-family Units | |
New Construction | 1000 SF (1) (2) |
Non-elderly and elderly low and moderate income housing | 400 SF (1) (2) |
Workforce Housing | 400 SF (1) (2) |
Rehabilitated Buildings | 400 SF (1) (2) |
| Lodging and Hotel Units | N/A |
| LOT OCCUPATION | |
| Minimum Lot Area (square feet) | 120,000 SF |
| Minimum Lot Width (feet) | 350 feet |
| Maximum Lot Coverage (% of lot area) | N/A |
| Required Open Space Ratio | 0.60 |
| BUILDING SETBACKS | |
| Front Setback Ⓐ | |
Subterranean | 2 feet when approved by the design review board; otherwise follow the R-PS1, 2, 3, 4 setbacks (See section 7.2.15.2.f) |
Pedestal | |
Tower | |
| Side, Facing a Street Setback Ⓑ | |
Subterranean | 2 feet when approved by the design review board; otherwise follow the R-PS1, 2, 3, 4 setbacks (See section 7.2.15.2.f) |
Pedestal | |
Tower | |
| Side, Interior Setback Ⓒ | |
Subterranean | otherwise follow the R-PS1, 2, 3, 4 setbacks (See section 7.2.15.2.f) |
Pedestal | |
Tower | |
| Rear Setback Ⓓ | |
Subterranean | 2 feet when approved by the design review board; otherwise follow the R-PS1, 2, 3, 4 setbacks (See section 7.2.15.2.f) |
Pedestal | |
Tower | |
| |
| BUILDING HEIGHT | |
| Maximum Height Ⓔ | 60 feet |
| |
| |
Any land or air rights owned by or leased to the city or other governmental agency for no less than an initial term of 20 years shall automatically convert to a GU government use district.
| USES TABLE (GU) | |
|---|---|
| RESIDENTIAL | |
| LODGING | |
| OFFICE | |
| COMMERCIAL | |
| Alcoholic Beverage Establishment | P* |
| Gambling and Casinos pursuant to section 7.1.8 | Pro |
| Rentals or leases of mopeds, motorcycles, and motorized bicycles pursuant to section 7.1.8 | Pro |
| Neighborhood and Retail Fulfillment Centers pursuant to section 7.1.8 | Pro |
| CIVIC | |
| Parks and associated parking | P |
| Performing arts and cultural facilities | P |
| Monuments and memorials | P |
| CIVIL SUPPORT | |
| EDUCATIONAL | |
| Schools | P |
| INDUSTRIAL | |
| OTHER | |
| Parking lots and garages | P |
Key P – Main Permitted Use C - Conditional Use A - Accessory Use Pro - Prohibited Use * See Supplemental use regulations below | |
Section 1, Chapter 7, entitled "Zoning Districts and Regulations, Article II, entitled "District Regulations," at Section 7.2.17, "CCC Civic and Convention Center Ditrict," is hereby amended as follows:
The CCC civic and convention center district accommodates the facilities necessary to support the convention center.
| USES TABLE (CCC) | |
|---|---|
| RESIDENTIAL | |
| LODGING | |
| Hotels | P |
| OFFICE | |
| Office | P |
| COMMERCIAL | |
| Commercial | P |
| merchandise mart | P |
| Alcoholic Beverage Establishment | P* |
| Gambling and Casinos pursuant to section 7.1.8 | Pro |
| Rentals or leases of mopeds, motorcycles, and motorized bicycles pursuant to section 7.1.8 | Pro |
| Neighborhood and Retail Fulfillment Centers pursuant to section 7.1.8 | Pro |
| CIVIC | |
| landscape open space | P |
| Performing Arts and Cultural facilities | P |
| Parks | P |
| CIVIL SUPPORT | |
| EDUCATIONAL | |
| INDUSTRIAL | |
| OTHER | |
| Parking Lots | P |
| Garages | P |
| Any use that is customarily associated with a convention center or governmental buildings and uses | A |
Key P – Main Permitted Use C - Conditional Use A - Accessory Use Pro - Prohibited Use * See Supplemental use regulations below | |
| DEVELOPMENT REGULATIONS TABLE (CCC) | |
|---|---|
| Maximum FAR | 2.75 |
| Maximum Density (Dwelling Units Per Acre) | N/A |
| Minimum Unit Size (square feet) | N/A |
| LOT OCCUPATION | |
| Minimum Lot Area (square feet) | N/A |
| Minimum Lot Width (feet) | N/A |
| BUILDING SETBACKS (3) | |
| Front Setback Ⓐ | |
Subterranean | Average of the requirements contained in the surrounding zoning districts as determined by the planning and zoning director. (2) |
Pedestal | |
Tower | |
| Front Setback Ⓐ Fronting 17th Street and Convention Center Drive | |
Subterranean | 10 feet at ground level 0 feet above 15 feet, as measured from DFE (1) |
Pedestal | |
Tower | |
| Side, Facing a Street, Setback Ⓑ | N/A |
| Side, Interior Setback Ⓒ | 5 feet |
| Rear Setback Ⓓ | 0 feet |
| |
| BUILDING HEIGHT | |
| Maximum Height Ⓔ | 100 feet |
Hotels | 150 feet |
| |
| |
The district is designed to accommodate public or private educational facilities.
| USES TABLE (SPE) | |
|---|---|
| RESIDENTIAL | |
| Student, faculty or staff housing | A* |
| LODGING | |
| OFFICE | |
| Administrative offices | A* |
| COMMERCIAL | |
| Commercial | Pro* |
| Alcoholic beverage establishments | Pro* |
| Cafeterias | A* |
| Gambling and casinos pursuant to section 7.1.8 | Pro |
| Rentals or leases of mopeds, motorcycles, and motorized bicycles pursuant to section 7.1.8 | Pro |
| Neighborhood and Retail Fulfillment Centers pursuant to section 7.1.8 | Pro |
| CIVIC | |
| Performing arts and cultural facilities | A* |
| art and music facilities | A* |
| CIVIL SUPPORT | |
| Religious facilities | A* |
| EDUCATIONAL | |
| Nursery School | P* |
| Pre-School | P* |
| Kindergarten School | P* |
| Elementary School | P* |
| Middle School | P* |
| High School | P* |
| College | P* |
| University | P* |
| Mikvehs | P* |
| House of Worship | P* |
| Accessory Classrooms | A* |
| Gymnasiums | A* |
| Auditoriums | A* |
| Sports and Recreational Facilities | A* |
| Dormitories | A* |
| INDUSTRIAL | |
| OTHER | |
| Parking lots and garages | A* |
Key P – Main Permitted Use C - Conditional Use A - Accessory Use Pro - Prohibited Use * See Supplemental use regulations below | |
| DEVELOPMENT REGULATIONS TABLE (SPE) | |
|---|---|
| Maximum FAR | 2.5 (1) |
Fana Holtz High School Parcel (MAP EXHIBIT-2) | 3.0 |
Mikveh Parcel (MAP EXHIBIT-4) | 1.0 |
| Maximum Density (Dwelling Units per Acre) | N/A |
| Minimum Unit Size (square feet) | N/A |
| LOT OCCUPATION | |
| Minimum Lot Area (square feet) | N/A |
| Minimum Lot Width (feet) | N/A |
| Maximum Lot Coverage (% of lot area) | N/A |
| BUILDING SETBACKS | |
| Front Setback Ⓐ | average of the requirements contained in the surrounding zoning districts (2) |
Hebrew Academy School Parcel (MAP EXHIBIT-1) and the 1.1 Acre Parcel (MAP EXHIBIT-3) which is adjacent to municipal owned land or a public right-of-way as of the effective date of the ordinance from which this division is derived | 0 feet |
| Side, Facing a Street Setback Ⓑ | average of the requirements contained in the surrounding zoning districts (2) |
Hebrew Academy School Parcel (MAP EXHIBIT-1) and the 1.1 Acre Parcel (MAP EXHIBIT-3) which is adjacent to municipal owned land or a public right-of-way as of the effective date of the ordinance from which this division is derived | 0 feet |
| Side, Interior Setback Ⓒ | average of the requirements contained in the surrounding zoning districts (2) |
Hebrew Academy School Parcel (MAP EXHIBIT-1) and the 1.1 Acre Parcel (MAP EXHIBIT-3) which is adjacent to municipal owned land or a public right-of-way as of the effective date of the ordinance from which this division is derived | 0 feet |
| Rear Setback Ⓓ | average of the requirements contained in the surrounding zoning districts (2) |
Hebrew Academy School Parcel (MAP EXHIBIT-1) and the 1.1 Acre Parcel (MAP EXHIBIT-3) which is adjacent to municipal owned land or a public right-of-way as of the effective date of the ordinance from which this division is derived | 0 feet |
| |
| BUILDING HEIGHT | |
| Maximum Height Ⓔ | |
Hebrew Academy School Parcel (MAP EXHIBIT-1) and the 1.1 Acre Parcel (MAP EXHIBIT-3) | 60 feet |
| |
| |
The HD hospital district is designed to accommodate hospital facilities.
| USES TABLE (HD) | |
|---|---|
| RESIDENTIAL | |
| LODGING | |
| OFFICE | |
| Offices | A* |
| Medical offices | A* |
| COMMERCIAL | |
| Laundry | A* |
| Out-patient care facilities including hospital based clinics and ambulatory surgical centers | A* |
| Commercial service facility | A* |
| Gambling and casinos pursuant to section 7.1.8 | Pro |
| Rentals or leases of mopeds, motorcycles, and motorized bicycles pursuant to section 7.1.8 | Pro |
| Neighborhood and Retail Fulfillment Centers pursuant to section 7.1.8 | Pro |
| CIVIC | |
| Place of worship | A* |
| CIVIL SUPPORT | |
| Hospital | P |
| Recreational facilities | A* |
| Accessory hospital facilities | P* |
| EDUCATIONAL | |
| Educational, research and diagnostic facilities | A* |
| Day care facilities | A* |
| INDUSTRIAL | |
| OTHER | |
| Parking structures and lots | A* |
Key P – Main Permitted Use C – Conditional Use A – Accessory Use Pro – Prohibited Use *See Supplemental Use Regulations below | |
| Planting/landscaping | 0.10% to 0.35% | |
| Paving/grading | 0.05% to 0.15% | |
| Water features | 0.05% to 0.15% | |
| Signs/graphics | 0.10% to 0.25% | |
| Street furniture | 0.05% to 0.10% | |
| Lighting | 0.05% to 0.10% | |
| Arcades | 0.05% to 0.15% | |
| Site planning | 0.10% to 0.25% | |
| Building design | 0.20% to 0.50% | |
| Total bonus | 0.75% to 2.00% | |
| DEVELOPMENT REGULATIONS TABLE (HD) | |
|---|---|
| Maximum FAR | N/A |
| Maximum Density (Dwelling Units Per Acre) | N/A |
| Minimum Unit Size (square feet) | N/A |
| LOT OCCUPATION | |
| Minimum Lot Area (square feet) | N/A |
| Minimum Lot Width (feet) | N/A |
| Minimum Unit Size (square feet) | N/A |
| BUILDING SETBACKS (1) | |
| Mt. Sinai | |
| Front Setback | 25 feet |
| Front, Facing a Street Setback | N/A |
| Side, Interior Setback | 15 feet |
| Rear Setback | 40 feet |
| |
| BUILDING HEIGHT | |
| Maximum Height | 150 feet |
buildings located within a historic district | 50 feet |
building within 500 feet of a single-family or multifamily district | 100 feet |
| |
| |
The MR marine recreation district is a waterfront district designed to accommodate recreational boating activities, recreational facilities, accessory uses and service facilities.
| USES TABLE (MR) | ||
|---|---|---|
| RESIDENTIAL | ||
| LODGING | ||
| OFFICE | ||
| COMMERCIAL | ||
| Commercial uses | P | |
| Restaurant serving alcoholic beverages | P* | |
| Alcoholic beverage establishments | A* | |
| Gambling and casinos pursuant to section 7.1.8 | Pro | |
| Rentals or leases of mopeds, motorcycles, and motorized bicycles pursuant to section 7.1.8 | Pro | |
| Dance halls | Pro | |
| Entertainment establishments | Pro | |
| Neighborhood and Retail Fulfillment Centers pursuant to section 7.1.8 | Pro | |
| CIVIC | ||
| CIVIL SUPPORT | ||
| EDUCATIONAL | ||
| INDUSTRIAL | ||
| OTHER | ||
| Marinas | P | |
| Boat docks | P | |
| Piers, etc. for noncommercial or commercial vessels and related upland structures | P | |
| Aquarium | P | |
| Parks | P | |
| Baywalks | P | |
| Public facilities | P | |
| Required parking for adjacent properties not separated by road or alley | P | |
Key P - Main Permitted Use C - Conditional Use A - Accessory Use Pro - Prohibited Use *See Supplemental Uses below | ||
| DEVELOPMENT REGULATIONS TABLE (MR) | |
|---|---|
| Maximum FAR | 0.25 (1) |
| Maximum Density (Dwelling Units Per Acre) | N/A |
| Minimum Unit Size (square feet) | N/A |
| LOT OCCUPATION | |
| Minimum Lot Area (square feet) | N/A |
| Minimum Lot Width (feet) | N/A |
| Maximum Lot Coverage (% of lot area) | N/A |
| BUILDING SETBACKS | Properties facing Waterway, Government Cut, Ocean or Bay |
| Front Setback Ⓐ | |
| Subterranean | 20 feet (2) 50 feet (For any yard facing a waterway, Government Cut, ocean or bay) (2) |
| Pedestal | |
| Side, Facing a Street Setback Ⓑ | |
| Subterranean | 20 feet (2) 50 feet (For any yard facing a waterway, Government Cut, ocean or bay) (2) |
| Pedestal | |
| Side, Interior Setback Ⓒ | |
| Subterranean | 20 feet (2) 50 feet (For any yard facing a waterway, Government Cut, ocean or bay) (2) |
| Pedestal | |
| Rear Setback Ⓓ | |
| Subterranean | 20 feet (2) 50 feet (For any yard facing a waterway, Government Cut, ocean or bay) (2) |
| Pedestal | |
| |
| BUILDING HEIGHT | |
| Maximum Height Ⓔ | 40 feet |
| |
| |
The WD-1 waterway district is designed to create a landscaped environment with uses that area of desirable character and in harmony with the waterway and the upland development.
The WD-2 waterway district is designed to accommodate beach-related accessory uses on the east side of Miami Beach Drive.
Chapter 7, entitled "Zoning Districts and Regulations," Article II, entitled "Zoning District Regulations," section 7.2.21, entitled "WD Waterway District," at subsection 7.2.21.2, entitled "Uses (WD-1)'" is hereby amended as follows:
| USES TABLE (WD-1) | |
|---|---|
| RESIDENTIAL | |
| LODGING | |
| OFFICE | |
| COMMERCIAL | |
| Kiosks | P |
| Alcoholic beverage establishments | Pro * |
| Gambling and Casinos pursuant to section 7.1.8 | Pro |
| Rentals or leases of mopeds, motorcycles, and motorized bicycles pursuant to section 7.1.8 | Pro |
| Neighborhood and Retail Fulfillment Centers pursuant to section 7.1.8 | Pro |
| CIVIC | |
| CIVIL SUPPORT | |
| EDUCATIONAL | |
| INDUSTRIAL | |
| OTHER | |
| Water transportation stops | P |
| Rental of watercraft, including jet skis and similar uses | Pro |
| Wet dockage of pleasure craft | P |
| Walkways and decks | P |
Key P – Main Permitted Use C - Conditional Use A - Accessory Use Pro - Prohibited Use * See Supplemental use regulations below | |
a. Supplemental main permitted uses Regulations (WD-1)
None
b. Supplemental Conditional uses Regulations (WD-1)
None
c. Supplemental Accessory uses Regulations (WD-1)
The accessory uses in the WD-1 waterway district are as follows:
d. Supplemental prohibited uses Regulations (WD-1)
None
| USES TABLE (WD-2) | |
|---|---|
| RESIDENTIAL | |
| LODGING | |
| OFFICE | |
| COMMERCIAL | |
| Outdoor cafes | P |
| Alcoholic beverage establishments | Pro * |
| Gambling and Casinos pursuant to section 7.1.8 | Pro |
| Rentals or leases of mopeds, motorcycles, and motorized bicycles pursuant to section 7.1.8 | Pro |
| Neighborhood and Retail Fulfillment Centers pursuant to section 7.1.8 | Pro |
| CIVIC | |
| CIVIL SUPPORT | |
| EDUCATIONAL | |
| INDUSTRIAL | |
| OTHER | |
| Pool decks | P |
| Cabanas and similar recreational uses which are water related or beach related | P |
Key P – Main Permitted Use C - Conditional Use A - Accessory Use Pro - Prohibited Use * See Supplemental use regulations below | |
| DEVELOPMENT REGULATIONS TABLE (WD-1 WD-2) | ||
|---|---|---|
| WD-1 | WD-2 | |
| Maximum FAR | N/A | 0.01 |
| Maximum Density (Dwelling Units Per Acre) | N/A | N/A |
| Minimum Unit Size (square feet) | N/A | N/A |
| Maximum Floor Area of Building (square feet) | 40 SF | N/A |
| Maximum number of buildings per site | 1 | N/A |
| LOT OCCUPATION | WD-1 | WD-2 |
| Minimum Lot Area (square feet) | N/A | N/A |
| Minimum Lot Width (feet) | N/A | N/A |
| Maximum Lot Coverage (% of lot area) | N/A | N/A |
| BUILDING SETBACKS | WD-1 | WD-2 |
| Front Setback Ⓐ | 0 feet (1) | N/A |
Front Setback (Fronting Miami Beach Drive) Ⓐ | N/A | 5 feet |
| Side, Facing a Street Setback Ⓑ | 10 feet (1) | 0 feet |
| Side, Interior Setback Ⓒ | 20 % of lot width (1) | 0 feet |
| Rear Setback Ⓓ | 0 feet (1) | 50 feet (erosion control line) 10 feet (if development is connected to a project in the Dune Preservation Overlay district) |
|
| |
| BUILDING HEIGHT | WD-1 | WD-2 |
| Maximum Height Ⓔ | 12 feet (2) | 15 feet |
|
| |
| ||
The GC golf course district is designed to accommodate golf courses on private property.
| USES TABLE (GC) | |
|---|---|
| RESIDENTIAL | |
| LODGING | |
| OFFICE | |
| Clubhouses | P |
| Sale and distribution of alcoholic beverages | A* |
| Glambling and Casinos pursuant to section 7.1.8 | Pro |
| Rentals or leases of mopeds, motorcycles, and motorized bicycles pursuant to section 7.1.8 | Pro |
| Neighborhood and Retail Fulfillment Centers pursuant to section 7.1.8 | Pro |
| CIVIC | |
| Golf Courses | P |
| Tennis Courts | P |
| CIVIL SUPPORT | |
| EDUCATIONAL | |
| INDUSTRIAL | |
Key P – Main Permitted Use C - Conditional Use A - Accessory Use Pro - Prohibited Use * See Supplemental use regulations below | |
| DEVELOPMENT REGULATIONS TABLE (GC) | ||
|---|---|---|
| Maximum FAR | N/A | |
| Maximum Density (Dwelling Units Per Acre) | N/A | |
| Minimum Unit Size (square feet) | N/A | |
| Maximum Total Construction (square feet) | 100,000 SF | |
| LOT OCCUPATION | ||
| Minimum Lot Area (square feet) | N/A | |
| Minimum Lot Width (feet) | N/A | |
| Maximum Lot Coverage (% of lot area) | N/A | |
| BUILDING SETBACKS | Main Building | Ancillary Structures |
| Fronting Alton Road | 200 feet (1) | 125 feet (2) |
| Setback abutting single family residences | 170 feet (3) | |
| All other Setbacks | 170 feet (4) | |
Existing At-Grade Parking Lots | 50 feet (from rear lot line) 10 feet (from the side lot line of any abutting single-family residence) | |
| BUILDING HEIGHT | Main Building | Ancillary Structures |
| Maximum Height Ⓔ | 42 feet (5) | 20 feet (2) |
| ||
| ||
The primary purpose of the I-1 urban light industrial district is to permit light industrial uses that are generally compatible with one another and with adjoining residential or commercial districts. Uses that are compatible and complement light industrial uses, such as a limited range of offices, and commercial uses shall also be permitted. This district shall not include any residential uses, except as provided herein.
| USES TABLE (I-1) | |
|---|---|
| RESIDENTIAL | |
| Residential Uses | Pro* |
| Live-work units | C* |
| LODGING | |
| Hostels | Pro* |
| OFFICE | |
| Professional, business, research or administrative offices | P* |
| COMMERCIAL | |
| Commercial uses | P* |
| Kennel | P |
| Restaurants with alcoholic beverage licenses | C* |
| Liquor Stores | C* |
| Alcoholic Beverage Establishments | A* |
| Formula commercial establishment | Pro* |
| Formula restaurant | Pro* |
| Dance Halls | Pro* |
| Entertainment Establishments | Pro* |
| Outdoor Entertainment Establishment | Pro* |
| Bars | Pro* |
| Pawnshops | Pro* |
| Tobacco and Vape Dealers | Pro* |
| Check cashing stores | Pro* |
| Convenience stores | Pro* |
| Occult science establishments | Pro* |
| Souvenir and T-shirt shops | Pro* |
| Tattoo studios | Pro* |
| Gambling and Casinos pursuant to section 7.1.8 | Pro |
| Rentals or leases of mopeds, motorcycles, and motorized bicycles pursuant to section 7.1.8 | Pro |
| Neighborhood and Retail Fulfillment Centers pursuant to section 7.1.8 | Pro |
| CIVIC | |
| Religious institutions with an occupancy of 199 persons or less | P |
| Religious institutions with an occupancy greater than 199 persons | C |
| CIVIL SUPPORT | |
| Neighborhood Impact Establishments | Pro |
| EDUCATIONAL | |
| INDUSTRIAL | |
| Assembly or packaging of goods not utilizing heavy machinery | P* |
| Light manufacturing, not utilizing heavy machinery | P* |
| Printing, engraving, lithographing, media services and publishing, not utilizing heavy machinery | P |
| Wholesale businesses and sales, warehouses, mini and other storage buildings, and distribution facilities | P* |
| Artisan Studios | P* |
| Plumbing, electrical, air conditioning and other similar type shops | P* |
| Tailoring Services | P* |
| Landscaping Services | P* |
| Machine, welding, and printing shops, involving heavy machinery | C |
| Recycling receiving stations | C |
| Towing services | C* |
| OTHER | |
| Main use parking garages and parking lots | C |
| Neighborhood Impact Structure | C |
| Neighborhood Impact Lot | C |
Key P – Main Permitted Use C – Conditional Use A – Accessory Use Pro – Prohibited Use *See Supplemental use regulations below | |
| DEVELOPMENT REGULATIONS TABLE (I-1) | |
|---|---|
| Maximum FAR | 1.0 |
| Maximum Density (Dwelling Units Per Acre) | N/A |
| Minimum Unit Size (square feet) | N/A |
| LOT OCCUPATION | |
| Minimum Lot Area (square feet) | N/A |
| Minimum Lot Width (feet) | N/A |
| Maximum Lot Coverage (% of lot area) | N/A |
| BUILDING SETBACKS | |
| Front Setback Ⓐ | |
Subterranean | 0 feet 20 feet (when abutting a residential district) |
Pedestal | |
Tower | |
| Side, Facing a Street Setback Ⓑ | |
Subterranean | 0 feet 10 feet (when abutting a residential district) |
Pedestal | |
Tower | |
| Side, Interior Setback Ⓒ | |
Subterranean | 0 feet 10 feet (when abutting a residential district) |
Pedestal | |
Tower | |
| Rear Setback Ⓓ | |
Subterranean | 0 feet 10 feet (when abutting a residential district) |
Pedestal | |
Tower | |
| |
| BUILDING HEIGHT | |
| Maximum Height Ⓔ | 40 feet |
On Terminal Island (MAP EXHIBIT-2) for commercial and office buildings | 75 feet |
| |
Convention hotel development as proposed in the city center/historic convention village redevelopment and revitalization area plan and specifically identified as sites 1-A and 1-B in the convention hotel development opportunity (request for proposals).
| Lot Area Equal to or Less Than 22,499 Square Feet | Lot Area Between 22,500 and 37,499 Square Feet | Lot Area Between 37,500 and 44,999 Square Feet | Lot Area Between 45,000 and 59,999 Square Feet | Lot Area Between 60,000 and 74,999 Square Feet | Lot Area Greater than 75,000 Square Feet | |
| Maximum floor area ratio | 1.25 | 1.85 | 2.45 | 3.05 | 3.65 | 4.25 |
| West Avenue Overlay Developable Lot Regulations Within the Existing RM-1 | |||||
|---|---|---|---|---|---|
| Existing Platted Lot Depth | Minimum Developable Lot Width | Maximum Developable Lot Width | Minimum Developable Lot Area | Maximum Developable Lot Area | |
| 100 feet @ Blocks 67-A, 67-B 79-A, 79-B, 79-C | Interior | 50 feet | 100 feet | 5,000 square feet | 10,000 square feet |
| 125 feet @ Blk.67- A | 12,500 square feet @ Blk.67-A | ||||
| Corner | 60 feet | 110 feet | 6,000 square feet | 11,000 sq. ft. | |
| 135 feet @ Blk.67- A | 13,500 square feet @ Blk.67-A | ||||
| 105 feet @ Block 81 | Interior | 50 feet | 100 feet | 5,250 square feet | 15,000 square feet |
| Corner | 65 feet | 115 feet | 6825 square feet | 17,250 square feet | |
| 112 feet @ Block 79-A | Interior | 50 feet | 100 feet | 5,600 square feet | 11,200 square feet |
| Corner | 60 feet | 110 feet | 6,720 square feet | 12,320 square feet | |
| 115 feet @ Block 81 | Corner | 45 feet | 150 feet | 5,175 square feet | 17,250 square feet |
| 150 feet @ Blocks 45, 66, 66-A, 67-B, 78, 78-A, 81 | Interior | 50 feet | 100 feet | 7,500 square feet | 15,000 square feet |
| Corner | 50 feet | 100 feet | 7,500 square feet | 15,000 square feet | |
| 55 feet @ Blk. 78 | 105 feet | 8,250 square feet | 15,750 square feet @ Blk. 78 | ||
| 57 feet @ Blk. 78-A | 107 feet | 8,550 square feet | 16,050 square feet @ Blk. 78-A | ||
| 60 feet @ Blk. 67-B | 110 feet | 9,000 square feet | 16,500 square feet @ Blk. 67-B | ||
| 65 feet @ Blk. 81 | 115 feet | 9,750 square feet | 17,250 square feet @ Blk. 81 | ||
| 160 feet @ Block 44 | Interior | 50 feet | 100 feet | 8,000 square feet | 16,000 square feet |
| Corner | |||||
The Residential Office Overlay Area is designed to accommodate the adaptive reuse of existing single-family and multi-family residential structures as of (the effective date of this ordinance) to allow as main permitted uses such uses permitted in the RO Residential/Office district. All other main permitted uses, conditional uses and accessory uses shall be the same as those provided for in the underlying RM-1 or RM-2 land-use designation.
In general, off-street parking within the required front yard setback is discouraged in residential neighborhoods as outlined by the underlying zoning designation, however, in the subject area parking may be permitted in the front yard setback subject to the following regulations:
| Minimum Lot Width | Minimum Building Front Setback | Maximum Driveway Curb Cut Width | Max. No. of Parking Spaces Permitted per Platted Lot | Orientation of Spaces | Fundamental Design Requirements |
| 50 feet | 20 feet | 12 feet | Two (2) spaces | Parallel to street | Buffer parking from street view with landscaping. No asphalt or concrete hardscaping |
| 17 feet | Two (2) spaces | Perpendicular to street | Two (2) 18" tire strips per space, No asphalt | ||
| 50 feet | 30 feet | 12 feet | Three (3) spaces | Parallel to street | Buffer parking from street view with landscaping. No asphalt or concrete hardscaping |
| 17 feet | Two (2) spaces | Perpendicular to street | Two (2) 18" tire strips per space, No asphalt | ||
| 60 feet | 20 feet | 12 feet | Four (4) spaces | Parallel to street | Buffer parking from street view with landscaping. No asphalt or concrete hardscaping |
| 17 feet | Two (2) spaces | Perpendicular to street | Two (2) 18" tire strips per space, No asphalt | ||
| 60 feet | 30 feet | 12 feet | Six (6) spaces | Parallel to street | Buffer parking from street view with landscaping. No asphalt or concrete hardscaping |
| 17 feet | Two (2) spaces | Perpendicular to street | Two (2), 18" tire strips per space, No asphalt |

The following overlay regulations shall apply to the Collins Park Arts District Overlay. All development regulations in the underlying zoning district shall apply, except as follows, and for any regulations in conflict, the following shall control:
The overlay regulations of this division shall apply to the properties identified in the Overlay Map below:

The purpose of this overlay district is to allow limited flexibility of uses, limited increases in heights, and limited flexibility in setbacks because of the common ownership and operation of the properties within the overlay district and the value of preserving historic buildings within the overlay district.
For this division, the following definitions shall apply:
The following overlay regulations shall apply to the FAENA District Overlay. All development regulations in the underlying district regulations shall apply, except as follows:

The following overlay regulations shall apply to the Ocean Terrace Overlay. All development regulations in the underlying regulations shall apply, except as follows:


The following regulations shall apply to the overlay district. There shall be no variances allowed from these regulations. All development regulations in the underlying zoning district and any other applicable overlay regulations shall apply, except as follows:
Notwithstanding any provision of these regulations to the contrary, the overlay ordinance shall not apply to real property that satisfies all of the foregoing criteria:
The following overlay regulations shall apply to the North Beach National Register Conservation District Overlay. All development regulations in the underlying RM-1 regulations shall apply, except as follows:
| Minimum Developable Lot Area (Square Feet) | Minimum Developable Lot Width (Feet) | Maximum Developable Lot Width (Feet) | Maximum Developable Aggregation (Platted Lots) |
| 5,000 square feet | 50 feet | 200 feet Developments where all residential units consist of workforce or affordable housing shall have no maximum lot width restriction. | Subject to section 7.3.8.4, two (2) lot maximum aggregation; up to three (3) lots may be aggregated, if permitted by the historic preservation or design review board, as applicable, and if all "contributing" buildings on the aggregated site are substantially retained and restored in accordance with section 7.3.8.4; five (5) lot maximum lot aggregation may be permitted if all residential units consist of workforce or affordable housing for a period of no less than fifty (50) years. Educational and religious institutions, existing as of April 21, 2018, and located on lots consisting of more than two (2) platted lots may be retained, provided all existing buildings on the lot are retained. There shall be no variances from these maximum lot aggregation restrictions, except for existing lots where all structures are proposed to be retained, and provided no additional lots are added. |
| Minimum Unit Size (Square Feet} | Average Unit Size (Square Feet} |
| New construction—400 | New construction—500 |
| Workforce or affordable housing—400 | |
| "Contributing" buildings which are substantially retained and restored—300 | "Contributing" buildings which are substantially retained and restored—400 |
| Additions to "contributing" buildings which are substantially retained and restored—300 | Additions to "contributing" buildings which are substantially retained and restored—400 |
| Front | Interior Side | Street Side | Rear | |
|---|---|---|---|---|
| North Shore | 10 feet | Non-waterfront: Lot width of 60 feet or less: 5 feet. Lot width of 61 feet or greater: 7.5 feet, or 8% of lot width, whichever is greater. Waterfront: 7.5 feet, or 8% of lot width, whichever is greater. Additionally, regardless of lot width, at least one interior side shall be 10 feet or 10 % of lot width, whichever is greater. | 5 feet | Non-waterfront lots: 5 feet Waterfront lots: 10 % of lot depth |
| Biscayne Beach | 10 feet | Non-waterfront: Lot width of 60 feet or less: 5 feet. Lot width of 61 feet or greater: 7.5 feet, or 8% of lot width, whichever is greater. Waterfront: 7.5 feet, or 8% of lot width, whichever is greater. Additionally, regardless of lot width, at least one interior side shall be 10 feet or 10 % of lot width, whichever is greater. | 5 feet | 10 % of lot depth |
| Normandy Isle and Normandy Shores | 20 feet Waterfront: 25 feet | Non-waterfront: Lot width of 60 feet or less: 5 feet. Lot width of 61 feet or greater: 7.5 feet, | 5 feet | 5 feet Waterfront: |
| or 8% of lot width, whichever is greater. Waterfront: 7.5 feet, or 8% of lot width, whichever is greater. Additionally, regardless of lot width, at least one interior side shall be 10 feet or 10 % of lot width, whichever is greater. | 10 % of lot depth, maximum 20 feet |
Where a development is proposed on two or more lots, if approved for an aggregation of greater than two (2) lots by the design review board or historic preservation board, as applicable, new construction shall comply with the following:
The aforementioned requirements listed in section 7.3.8.4.b shall not be applicable to any development where all residential units consist of workforce or affordable housing,
The overlay district consists of the properties in the Sunset Harbour Area, which is generally bounded by Purdy Avenue to the west, 20th Street and the waterway to the north, Alton Road to the east, and Dade Boulevard to the south.

The following regulations shall apply to the overlay district. There shall be no variances allowed from these regulations. All development regulations in the underlying zoning district and any other applicable overlay regulations shall apply, except as follows:
The following regulations shall apply to the overlay district. There shall be no variances allowed from the provisions of this section. All development regulations in the underlying zoning district and any other applicable overlay regulations shall apply, except as follows:
The following limitations shall apply to the commercial uses listed below:
Check cashing stores shall comply with the following regulations:
Such establishments shall be prohibited in the Ocean Terrace/Harding Townsite Area.
In areas of the overlay district not identified in Section 7.3.10.1.b above, there shall be no more than four (4) such establishments.
Convenience stores shall comply with the following regulations:
In the Ocean Terrace/Harding Townsite Area, there shall be a limit of one (1) such establishment.
In areas of the Overlay District not identified in Section 7.3.10.1.b above, there shall nbe no more than 25 such establishments.
Formula commercial establishments shall comply with the following regulations:
Such establishments shall be prohibited on lots fronting Ocean Terrace.
This subsection shall not apply to any establishment in the Ocean Terrace/Harding Townsite Area, other than those fronting Ocean Terrace.
Formula restaurants shall comply with the following regulations:
Such establishments shall be prohibited on lots fronting Ocean Terrace.
This subsection shall not apply to any establishment in the Ocean Terrace/Harding Townsite Area, other than those fronting Ocean Terrace.
Massage therapy centers shall be subject to the following regulations:
Such establishments shall not operate between 9:00pm and 7:00am in the Overlay Area.
Such establishments shall only be considered a permitted use as part of the following developments:
State certified schools for obtaining a massage therapy license, as a component of the main use.
Multi-family residential buildings, apartment hotels, suite hotels or hotels, with at least 50 units, as an accessory use.
Fitness centers, gyms and wellness centers, as a component of the main use.
State licensed medical offices and clinics, such as physical therapy centers, as a component of the main use.
Such establishments shall only be permitted as a conditional use as follows:
Within office buildings located in commercial district, TC district, or TC-C district.
Within multi-family residential buildings, apartment hotels, suite hotels, or hotels, with less than 50 units.
Occult science establishments shall be prohibited in the overlay district.
Package stores shall comply with the following regulations:
Such establishments shall be prohibited in the Ocean Terrace/Harding Townsite Area.
In areas of the Overlay District not identified in Section 7.3.10.1.b above, there shall be no more than six (6) such establishments.
Pawnshops shall be prohibited in the overlay district.
Souvenir and t-shirts shops shall be prohibited in the overlay district.
Tattoo studios shall comply with the followings regulations:
In areas of the Overlay District not included in Section 7.3.10.1.b above, there shall be no more than nine (9) such establishments.
Tobacco/vape dealers shall be prohibited in the overlay district.
Vitamin stores shall be prohibited in the overlay district.
Review procedures.
Commercial establishments in the overlay district that are not identified in Section 7.3.10.2.a shall comply with the following regulations:
A signed affidavit, in a form approved by the City Attorney and Planning Director, indicating that the business is not an establishment that is regulated by Section 7.3.10.2.a shall be provided to the city as part of the application for a certificate of use and building permit, as applicable.
If the establishment operated in violation of this section, or in a manner that is otherwise inconsistent with the provisions of the signed affidavit, the business tax receipt will be subject to suspension or revocation, as provided in the City Code, and shall immediately cease operation.
Commercial establishments in the overlay district that are identified in Section 7.3.10.2.a shall comply with the following regulations:
If applicable, the applicant shall provide a survey that is signed and sealed on a date no earlier than six (6) months prior to the application date, indicating the number, location, name, business tax reciept numbers, and distance separation of the applicable type of establishments within the overlay district. A distance separation shall be measured as a straight line between the principal means of entrance of each establishment and the proposed establishment.
Establishments existing as of the date of the enactment of this ordinance shall count towards the maximum number of such establishments permitted within Section 7.3.10.2.a.
A signed affidavit, in a form approved by City Attorney and Planning Director, indicating compliance with the regulations of Section 7.3.7.10.a for the applicable type of establishment shall be provided to the city prior to obtaining a business tax reciept.
If the establishment operates in violation of this section, or in manner that is otherwise inconsistent with the provisions of the signed affidavit, the business tax receipt will be subject to suspension or revocation, as provided in the City Code, and shall immediately cease operation.
If a particular establishment meets more than one definition (i.e. formula commercial establishment and pharmacy store), it must meet the requirements for the each use, and if there is a conflict between two or more regulations, the more stringent code requirement shall control.
NCD-1/RM-2: The boundaries of the Gilbert M. Fein Neighborhood Conservation District include those properties of Block 43, Alton Beach Bay Front Subdivision, recorded in Plat Book 4, at page 125, public records of Miami-Dade County, Florida, fronting or abutting Bay Road, Lincoln Terrace and 16th Street and commences at the point of intersection of the northern lot line of Lot 1 of the Lincoln Terrace Subdivision, and the bulkhead line of Biscayne Bay as recorded in Plat Book 49, at page 100, public records of Miami-Dade County, Florida. Said point being the point of beginning of the tract(s) of land herein described; thence run easterly, along the northern lot line of Lot 1 and its easterly extension to the point of intersection with the centerline of Bay Road; thence run southerly, along the centerline of Bay Road to the point of intersection with the easterly extension of the south lot line of Lot 15 of the Bay Lincoln Subdivision, recorded in Plat Book 58, at page 86, public records of Miami-Dade County, Florida; thence run westerly, along the south lot line of Lot 15 and its easterly extension to the point of intersection with the bulkhead line of Biscayne Bay; thence run northerly, along the bulkhead line to the point of beginning. Said lands located, lying and being in the City of Miami Beach, Miami-Dade County, Florida.
The regulations contained within the District Ordinance (Part III) of the Gilbert M. Fein Neighborhood Conservation District Plan Report shall apply within this district and where more restrictive, control over the general district regulations of the underlying RM-2 zoning district.
The Gilbert M. Fein NCD Plan Report including the Executive Summary (Part I), Designation Report (Part II), District Ordinance (Part III), Streetscape Improvement Plan (Part IV), and (Parts V through VII), shall be available on file at the planning department and online at: http://www.miamibeachfl.gov/WorkArea/DownloadAsset.aspx?id=81047
The minimum yards, parking space, open spaces, including lot area per family required by these regulations for each and every building existing at the time of the passage of these regulations or for any building hereafter erected, shall not be encroached upon or considered as required yard or open space for any other building, except as hereinafter provided, nor shall any lot area be reduced below the requirements of these regulations.
Except as provided in section 7.5.4.13.d, no accessory building shall be constructed upon a lot until the construction of the main permitted use building has been actually completed unless construction of the main and accessory buildings is concurrent. No accessory building shall be used unless the main use building on the lot is also being used.
No derelict motor vehicles shall be permitted on any parcel of land except as provided in section 7.2.23.1-2. A motor vehicle shall be considered derelict when it is in a wrecked, inoperative or partially dismantled condition, or when it does not have a current registration and license plate as required by F.S. ch. 320.
Store enclosures. In all use districts designated in these land development regulations, the sale, or exposure for sale or rent, of any personal property, including merchandise, groceries or perishable foods, such as vegetables and fruits, is prohibited, unless such sale, or exposure for sale, is made from a substantially enclosed, permanent building; provided, however, that nothing herein contained shall be deemed applicable to rooftop areas not visible from the right-of-way, filling stations, automobile service stations or repair shops; uses having revocable permits or beach concessions operated or granted by the city, newsracks or newspaper stands, or displays at sidewalk cafés as permitted in Chapter 82 of the General Ordinances, wherever such uses are otherwise permissible. Vehicles for rent or lease utilized in connection with the operation of an automobile rental agency as defined in section 102-356 of the General Ordinances, and not located within a substantially enclosed permanent building, shall require conditional use approval from the planning board, provided that the exposure of the vehicles is on the same site at which the automobile rental agency is located, and that such exposed vehicles are screened from view as seen from any right-of-way or adjoining property when viewed from 5 feet 6 inches above grade, with appropriate landscaping not to exceed 3 feet in height from grade.
Notwithstanding the foregoing, during a state of emergency declared by the city, the requirement that personal property be sold or rented from a substantially enclosed, permanent building may be waived by the city manager subject to the following conditions:
For all districts, except RS-1, 2, 3 and 4 (single-family residential districts).
The following regulations shall apply to allowable encroachments in all districts except single-family residential districts, unless otherwise specified in this Code.
This section applies to swimming pools in all districts, except where specified. Accessory swimming pools, open and enclosed, or covered by a screen enclosure, or screen enclosure not covering a swimming pool, may only occupy a required rear or side yard, provided as follows:
The following regulations shall apply for fences, lightpoles or other accessory structures associated with court games in all districts.
front—20 feet;
interior side—7 feet and 6 inches;
any side facing on a street—15 feet;
rear—7 feet and 6 inches.
On a corner lot, there shall be no structure or planting which obstructs traffic visibility between the height of 2 feet and 10 feet above the street corner grade, within the triangular space bounded by the two intersecting right-ofway lines and a straight line connecting the right-of-way lines 15 feet from their intersection.
Except as also provided in section 7.5.4.3, storage of motor vehicles shall be permitted only in the I-1 light industrial district, no such stored motor vehicle shall be utilized as a dwelling and such stored motor vehicles shall be fully screened from view as seen from any right-of-way or adjoining property when viewed from 5 feet 6 inches above grade, with an opaque wood fence, masonry wall or other opaque screening device not less than 6 feet in height.
Temporary sales buildings are permitted with the following conditions:
Parking lots or garages when a main permitted use shall not be permitted on lots fronting on Ocean Drive or Espanola Way.
Cross reference(s)—Parking lots generally, § 18-306 et seq.; traffic and vehicles, ch. 106.
For regulations pertaining to sidewalk cafes see section 82-366 et seq. in the General Ordinances.
Cross reference(s)—Sidewalk cafés generally, § 82-366 et seq.
Accessory outdoor bar counters shall be prohibited as a main permitted use in any zoning district. Accessory outdoor bar counters may only be permitted as an accessory use to the following, if not prohibited in the underlying zoning district, and provided all counters shall not be visible from any point along the property line adjacent to a public right-of-way:
1 "...Such fines shall not exceed $1,000.00 per day per violation for a first violation, $5,000.00 per day per violation for a repeat violation, and up to $15,000.00 per violation if the ... special magistrate finds the violation to be irreparable or irreversible in nature. In addition to such fines, a ... special magistrate may impose additional fines to cover all costs incurred by the local government in enforcing its codes and all costs of repairs ...". F.S. § 162.09(2)(d); see also City of Miami Beach Code sections 30-74 (d) and 114-8.
Landing or storage areas for helicopter, or other aircraft are only permitted in HD District. In no instance shall landing or storage areas for a helicopter, or any other type of aircraft, be permitted as an accessory use.
| Zoning District | Class I | Class II | Class III | Class IV | Class V | Class VI | Class VII | Class VIII |
|---|---|---|---|---|---|---|---|---|
| RS-1, 2, 3, 4 | P | |||||||
| TH | P | |||||||
| RM-1 | P | C | ||||||
| RM-PRD | P | |||||||
| RM-2 | A | P | C | C | C | |||
| RM-PRD-2 | A | P | ||||||
| RM-3 | A | P | C | C | C | |||
| CD-1 | P | P | C | C | ||||
| CD-2 | P | P | P | C | C | |||
| CD-3 | P | P | C | P | C | C | C | |
| I-1 | P | P | C | |||||
| MXE | P | P | ||||||
| GU | P | P | P | P | P | |||
| HD | P | P | P | P | P | P | P | P |
| RO | P | P | C | C | ||||
| RMPS-1 | P | C | ||||||
| RPS-1 | P | |||||||
| RPS-2 | P | |||||||
| RPS-3 | A | P | ||||||
| RPS-4 | A | P | ||||||
| C-PS1* | P | P | C | C | ||||
| C-PS2 | P | P | C | P | C | C | ||
| C-PS3 | P | P | P | C | C | |||
| C-PS4 | P | P | C | P | C | C | C | |
| TC-1 | P | P | P | C | C | C | ||
| TC-2 | P | P | P | C | C | |||
| TC-3 | C | P | C | |||||
| TC-C | P | P | C | P | C | C | C | |
| P—Main permitted use A—Permitted as an accessory use C—Conditional use Boxes with no designation signify that the use is NOT permitted | ||||||||







The city manager has the authority to suspend or revoke a business tax receipt following notice and hearing, or to summarily suspend a business tax receipt pending a hearing pursuant to section 102-385 of the General Ordinances.
A violation of this section 7.5.5.8 shall be subject to the following fines:
If the violation is the first offense, a person or business shall receive a civil fine of $5,000.00;
If the violation is the second violation within the preceding six (6) months, a person or business shall receive a civil fine of $10.000.00;
If the violation is the third violation within the preceding six (6) months, a person or business shall receive a civil fine of $20,000.00; and
If the violation is the fourth or subsequent violation within the preceding six (6) months, a person or business shall receive a civil fine of $30,000.00 and the business tax receipt shall be revoked.
Enforcement. The code compliance department shall enforce this section 7.5.5.8 Controlled Substances Regulations and Use. This shall not preclude other law enforcement agencies from any action to assure compliance with this section 7.5.5.8 and all applicable laws. If a violation of this section 7.5.5.8 is observed, the enforcement officer will be authorized to issue a notice of violation. The notice shall inform the violator of the nature of the violation, amount of fine for which the violator is liable, instructions and due date for paving the fine, that the violation may be appealed by requesting an administrative hearing before a special magistrate within ten (10) days after service of the notice of violation, and that the failure to appeal the violation within ten (10) days of service shall constitute an admission of the violation and a waiver of the right to a hearing.
Rights of violators; payment of fine; right to appear; failure to pay civil fine or to appeal; appeals from decisions of the special magistrate.
A violator who has been served with a notice of violation must elect to either:
Pay the civil fine in the manner indicated on the notice of violation; or
ZONING DISTRICTS AND REGULATIONS
This section sets forth regulations that are common to all districts, or which apply to certain building types or uses that are found across multiple zoning districts. Resilience, Adaptation and Mitigation standards are the most prominent sections in this article but are also accompanied by other regulations that affect the quality of the public realm.
Eligible Development. These provisions are hereby adopted as voluntary zoning incentives for non-transient residential development. Where authorized in the underlying zoning district or overlay district, and in accordance with al applicable regulations set forth in such zoning district or overlay district, residential developments consisting solely of non-transient residential units and allowable accessory uses shall be eligible for applicable incentives set forth in such zoning district or overlay district, subject to the property owner's agreement to be bound by the following conditions:
Lodging Use Conversion and Prohibition. In order to be eligible for the residential use incentives, the property shall be required to fully vacate any and all existing transient uses including, but not limited to, bed & breakfast inn, hostel, hotel, apartent hotel, suite hotel or rooming house. Such transient uses shall be prohibited throughout the development and at all times, in order to maintain the residential use incentives authorized for the applicable zoning district or overlay district.
Short Term Rental Conversion and Prohibition. In order to be eligible for the voluntary residential use incentives authorized for the applicable zoning district or overlay district, the property owner(s) shall first be required to vacate any and all existing approvals for the short-term rental of any apartment units on the property.
Covenant. As a condition of eligibility for the voluntary residential use incentives authorized for the applicable zoning district or overlay district, the property owner(s) shall first be required to execute a restrictive covenant running with the land, in a form approved by the City Attorney, affirming that throughout the building and at all times, no residential units on the property shall be leased or rented for a period of less than six months and one day, and that no transient uses including, but not limited to, bed & breakfast inn, hostel, hotel, apartment hotel, suite hotel or rooming house, shall be permitted on the property. The covenant shall expressly provide that an affirmative vote of six-sevenths of all members of the city commission shall be required in order to release the covenant or to modify the covenant in such a manner as to impose a less stringent restriction after it is executed.
Certificate of Appropriateness. If the property is located within a local historic district or site, as a condition of eligibility for the voluntary residential use incentives authorized for the applicable zoning district or overlay district, the property owner(s) shall be required to retain, preserve and restore all contributing structures on the site, as may be required by the historic preservation board and subject to certificate of appropriateness approval in accordance with chapter 2, article VIII of the land development regulations of the city code.
There shall be no variances from the requirements of this section for eligible developments.
Where authorized in the underlying zoning district or overlay district, the following incentives shall be applicable to school developments, including colleges, elementary schools, high schools, kindergarten schools, middle schools, pre-schools, or universities, that are public schools or are designated by the Internal Revenue Service as tax-exempt pursuant to section 501( c)( 3) of the Internal Revenue Code.
There is hereby created the North Beach Commercial Character Overlay District (the "overlay district"). The overlay district consists of the properties located to the north of 63rd Street, identified in the map below in this subsection (a). and the properties identified in the Ocean Terrace/Harding Townsite Area described in subsection (b) below: map 2024-4673 a
The Ocean Terrace/Harding Townsite Area is identified in the map below and is generally located between Harding Avenue to the west and Ocean Terrace to the east, between 73rd and 75th Streets:

The purpose of this overlay district is to limit the proliferation of uses which may diminish the character of historic commercial areas within the city. This overlay district is designed based on and intended to achieve the following:
The North Beach area of the City is located to the north of 63rd Street;
A large portion of the North Beach area is located within the North Shore National Register District and the Normandy Isles National Register District;
A large portion of the North Beach area is located within the locally designated Normandy Isles Historic District, North Shore Historic District, Harding Townsite Historic District, Altos Del Mar Historic District, and the North Beach Resort Historic District;
Properties fronting Ocean Terrace and Collins Avenue between 73rd and 75th Streets are within the Harding Townsite historic district and the North Shore National Register historic district;
Properties fronting Harding Avenue between 73rd and 75th Streets are within North Shore National Register historic district;
The City of Miami Beach has undertaken a master planning process for the North Beach area that includes the Harding Townsite historic district and North Shore National Register district, in order to encourage the revitalization of the area by improving cultural, retail, and dining experiences for residents and vistors to the area;
Formula commercial establishments and formula restaurants are establishments with multiple locations and standardized features or a recognizable appearance, where recognition is dependent upon the repetition of the same characteristics of one store in multiple locations;
Formula commercial establishments and formula restaurants are increasing in number within many historic districts;
The sameness of formula commercial establishments, while providing clear branding for retailers, conflicts with the city's Vision Statement which includes creating "A Unique Urban and Historic Environment";
Notwithstanding the marketability of a retailer's goods or services or the visual attractiveness of the storefront, the standardized architecture, color schemes, decor and signage of many formula commercial establishments detract from the distinctive character and aesthetics of the historic districts;
The increase of formula commercial establishments hampers the unique cultural, retail, and dining experience in commercial and mixed-use areas of the city's historic districts;
Specifically, the proliferation of formula commercial establishments may unduly limit or eliminate business establishment opportunities for unique businesses, thereby decreasing the diversity of cultural, retail, and dining services available to residents and visitors;
The homogenizing effect of formula commercial establishments, based on their reliance on standardized branding, increases if the size of the establishment, the number of locations or size or use of branded elements is greater;
The increased level of homogeneity detracts from the uniqueness of the City's historic districts, which thrive on a high level of interested maintained by a mix of cultural, retail, and dining experiences that are not found elsewhere in the country;
It is not the intent of the city to limit interstate commerce, but rather to maintain the historic character of neighborhoods and promote their unique cultural, retail, and dining experiences that are vital to the city's economy;
It is the intent of the city that if an establishment that has multiple locations and standardized features or a recognizable appearance seeks to locate within certian areas affected by this division that such establishment provide a distinct array of merchandise, facade, decor, color scheme, uniform apparel, signs, logos, trademarks, and service marks;
Convenience stores, pharmacy stores and formula eating establishments have similar impacts to the unique character of this important area of the city as formula stores;
Check cashing stores, pawnshops, souvenir and t-shirt shops, tattoo studios, fortune tellers (occult science establishments), massage therapy center, and package liquor stores are uses which negatively affect surrounding areas; and
It is the intent of the city to limit the number of establishments which may negatively affect surrounding areas.
The overlay regulations of this section shall apply to the following properties:
Lot 3, Block 80 of the Bay Garden Manor Condo, according to the plat thereof, recorded in PLat Book 6, Page 12, of the Public Records of Miami-Dade County.

b.Development Regulations - Underlying RM-3 Zoning
Notwithstanding the development regulations contained in Section 7.2.6, the following regulations shall govern proposed development within the boundaries of this overlay district on properties with an underlying zoning classification of RM-3. In the event of any conflict between the overlay regulations and the requirements of the Resiliency Code, these regulations shall control:
This section describes regulations that are intended to promote adaptation to rising sea levels, storm surge, king tide and fair-weather flooding.
| LOWER LEVELS OF A BUILDING DEFINITION’S TABLE |
|---|
| SUBTERRANEAN LEVEL (SL) |
Subterranean means that portion of a building or structure which is equal to or less than Grade.
|
| UNDERSTORY LEVEL (UL) |
Understory means the non-air-conditioned space(s) located below the First Habitable Level (FHL). Notwithstanding the foregoing access to the First Habitable Level (FHL) may be air-conditioned.
|
| RESIDENTIAL FIRST HABITABLE LEVEL (FHL) (NEW CONSTRUCTION) |
First Habitable Level above the Design Flood Elevation (DFE)
|
| NON-RESIDENTIAL FIRST HABITABLE LEVEL (FHL) |
Non-Residential First Habitable Level (FHL) First Habitable Level above the Future Crown of the Road (frontages of 150 feet or less) or
|
| SHORT FRONTAGE STANDARDS TABLE |
|---|
|
| Long Frontage Standards Table |
|---|
|
| MINIMUM AND MAXIMUM YARD ELEVATION REQUIREMENTS | ||||
|---|---|---|---|---|
| Minimum | Maximum | |||
| Front Yard | Future Adjusted Grade (1) (2) (4) | Base Flood Elevation (BFE) (1) (3) (4) | ||
| Side, Facing a street Yard | ||||
| Side, Interior Yard | Base Flood Elevation (BFE) (1) (3) | |||
| Rear Yard - Non Waterfront | ||||
| Rear Yard - Waterfront | Base Flood Elevation (BFE) plus maximum freeboard (1) (3) | |||
MINIMUM AND MAXIMUM YARD ELEVATIONS | ||||
| ||||
| RETAINING WALL REQUIREMENTS | |
|---|---|
| Maximum Height of Retaining Wall | |
| Front | 30 inches above sidewalk elevation, or adjacent grade if no sidewalk is present (1) (3) |
| Side, Facing a Street | |
| Side, Interior | At the property line, the maximum height of retaining walls shall not exceed BFE. (2) (3) |
| Rear | |
| |
| |
Whereas resilience and adaptation are the response to threats posed by climate change, environmental mitigation represents the strategies that reduce greenhouse gas emissions and ecological degradation that is often associated with the built environment.
Sustainable building practices will promote the economic and environmental health of the city, and ensure that the city continues to become environmentally resilient to combat sea level rise and help curb climate change. This chapter is designed to achieve the following objectives:
Mandatory compliance with the requirements of this section shall be required for all applicants with building permit applications that meet the following criteria (hereinafter "eligible participants"):
| CERTIFICATION COMPLIANCE SCHEDULE | |
| Level of Certification Achieved | Sustainability Fee Reimbursement to Participant for Meeting Certain Green Building Certification Levels |
| Failure to obtain Certification | 0% refund of bond or payment of Sustainability fee |
| LEED Certified | 50% refund of bond or payment of Sustainability fee |
| LEED Silver Certified | 66% refund of bond or payment of Sustainability fee |
| LEED Gold Certified or International Living Future Institute Petals or Net Zero Energy Certified | 100% refund of bond or payment of Sustainability fee |
| LEED Platinum Certified or International Living Future Institute Living Building Challenge Certified | 100% refund of bond or payment of Sustainability fee |
Deposit of funds; account.
The city has established a sustainability and resiliency fund. The revenue generated through the sustainability fee program shall be deposited in the sustainability and resiliency fund.
A walkable environment is created by unifying design of the public realm with private frontages that shape the public realm. There are a variety of frontage types, which vary depending on the zoning district and the uses at the eye-level of the pedestrian. This section illustrates how these frontages ought to be designed in order to accommodate future raising of the street.
| FRONTAGES STANDARDS TABLE | ||
|---|---|---|
| Buildings should provide cover for main entrances and doors that open onto the sidewalk, using at least one of the following: | ||
| Front Yard with Stoop or Porch. A stoop or porch is used only when the main entrance is used to access a residential unit or lobby and is not used for storefronts. A stoop or porch has a landing that is elevated above the sidewalk and above the crown of the roadway with stairs and/or ramps that access the sidewalk. It is often covered by a roof, eyebrow, or upper floor balcony. It may be combined with a recessed entrance. |
|
|
| Terrace/ Stoop. A terrace is a flat usable surface in front of the building, usually elevated above the sidewalk. In Miami Beach, the Terrace may be covered by upper floors, an eyebrow or be partially or wholly exposed to the sky. This feature can be seen in many of the Art Deco and Streamlined Moderne Era buildings, especially hotels. The terrace is often used for outdoor dining, seating and /or lounging. |
| ![]() |
| Forecourt. A forecourt is an open to the sky patio that faces the street, and from which building residents usually access their units. This often results in a ‘U’ shape or ‘parallel bar’ building configuration. This frontage type can be found in many of the multifamily buildings on Meridian Avenue and in other areas of Miami Beach. In some cases, as is typical in Normandy Isle and North Beach, the forecourt may be located towards the rear, facing Biscayne Bay or one of the Waterways, to maximize views of the water and in order to funnel breezes to the various units. |
|
|
| Awning. Awning is a structure that shelters the pedestrian with a canvass, cloth, or other membrane that is stretched over a frame and which extends across a storefront. An awning may shade the glazing of the storefront from harsh sunlight but also provides refuge from rain for customers and building occupants. An awning may be retractable and is considered less permanent than a marquis. Awnings may be found on Lincoln Road Mall, Washington Avenue, Española Way, and other areas where storefronts are abundant. |
|
|
| Marquis. Marquis is a rigid, permanent structure which extends from the building façade and shelters the main entrance. It is usually metallic and may be cantilevered or be partially or wholly supported by tension rods. A marquis often has signs or letters incorporated into the surface that is visible to the sidewalk. It is often used in theaters and entertainment venues but may also be used to shelter storefronts as an alternative to an Awning. |
|
|
| Eyebrow. Eyebrow is a masonry cantilevered element that shelters an entrance, storefront, window or portions of a wall. Eyebrows are associated with Art Deco, Streamlined Moderne, and Mid-century Modern Architecture of the 1930s, 1940s, and 1950s. An eyebrow may be used to shelter storefronts as an alternative to an awning or marquis and is considered more permanent and solid than either awning or marquis. |
|
|
| Balcony as Eyebrow. The main entrance or storefront may be sheltered by a cantilevered balcony extending from the floor above. In this case, an awning, marquis, or eyebrow would be redundant if the balcony provides sufficient shelter for the pedestrian or building occupant. |
| ![]() |
| Recessed entrance. A recessed entrance can maximize window display area in storefronts and may provide shelter from rain and sun. A recessed entrance may be used as an alternative to an awning, marquis, or eyebrow for storefronts. |
|
|
| Recessed entrance combined with awning, marquis, eyebrow or balcony as eyebrow. Recessed entrance combined with awning, marquis, eyebrow or balcony as eyebrow is used in order to maximize the shelter provided to customers and building occupants. |
|
|
| Gallery. A gallery is supported on posts and has a roof that extends from the building façade to shelter storefronts. Where permitted by public works department, a gallery may encroach upon the sidewalk or the front setback. |
|
|
| Arcade. An arcade is similar to a gallery, but it has thicker posts that support not a roof but rather upper floors that extend forward from the storefront in order to shelter it. Where allowed by the public works department, an arcade may encroach upon the sidewalk or front setback. |
|
|
| Dingbat. A building type and frontage in which the First Habitable Floor (FHL) is supported entirely upon a grid of columns, otherwise know as “pilotis”. Parking is often placed in the understory or area sheltered by the upper floors. Dingbat’s tend to create a lack of natural surveillance for pedestrians as they remove habitable space from pedestrians’ eye level. This building type was prevalent in the 1960s -1980s in Miami Beach. |
|
|
| Improved Dingbat. Buildings in which the First Habitable Floor (FHL) is located above a parking floor or understory, the lobby should line the parking/storage in the understory, thereby avoiding the appearance of a dingbat, and masking parking from the sidewalk. |
|
|
To encourage spaciousness within residential and hotel units while discouraging units sizes associated with transiency and short term rentals.
The following unit sizes shall apply. Where these units sizes are in conflict with those associated with a specific zoning district or overlay district, then those associated with the zoning district or overlay district shall prevail.
| UNIT SIZE TABLE | ||
|---|---|---|
| UNIT TYPE | MINIMUM UNIT SIZE (Square Feet) | MINIMUM AVERAGE UNIT SIZE (Square Feet) |
| Single Family Detached House | 1,800 SF (1) | N/A |
| Apartments/Multi-family Units | ||
New Construction | 550 SF | 800 SF (3) (4) |
Non-elderly and elderly low and moderate income housing | 400 SF | 400 SF (3) (4) |
Workforce Housing | 400 SF | 400 SF (3) (4) |
Rehabilitated Buildings | 400 SF | 550 SF (3) (4) |
| Lodging and Hotel Units | 335 SF + (2) | N/A |
| ||
By screening parking lots and garages, or by lining them with habitable space, pedestrian comfort, and safety as well as visual interest are optimized, contributing to the walkability of a district.
The playing or engaging in any game of cards, keno, roulette, faro, or other game of chance, at any place, by any device, whatever, for money or other thing of value, shall be considered to be "gambling." An establishment in which gambling occurs is a casino.
"Fantasy contest" shall include, but not be limited to, a fantasy or simulation sports game or contest in which contest participants manage a fantasy or simulation sports team for prizes or money in any gambling or casino use in the city.
Gambling and casinos are prohibited in the City of Miami Beach. Gambling and casino uses shall include all uses authorized pursuant to F.S. chs. 550 and 551, as may be amended from time to time: and "fantasy contests." as defined above. These uses are prohibited in any zoning category within the city, whether as a main, conditional, or accessory use. No business tax receipt shall issue for the aforementioned uses, which may also include, but not be limited to: any machine of chance (device) regulated by the state compact or F.S. chs. 550 and 551, as may be amended from time to time, pari-mutuel uses, horse racing, dog racing, jai alai, fantasy contests and associated gambling or casino related uses. The terms "gambling" and "casino" shall be provided the broadest definition despite any amendments the state legislature may make to the above referenced chapters of the Florida Statutes.
The following uses are exempt from the city's definition of gambling:
Any amendment to this section 7.1.8.1 (including the repealer thereof), which would create a less stringent regulation on gambling or any of the uses listed herein, shall require an affirmative vote of 6/7ths of the city commission.
The following definitions are applicable to this section:
Golf cart means a motor vehicle designed and manufactured for operation on a golf course for sporting or recreational purposes.
Low-speed vehicle means any four-wheeled vehicle whose top speed is greater than 20 miles per hour but not greater than 25 miles per hour, including, but not limited to, neighborhood electric vehicles.
Moped means any vehicle with pedals to permit propulsion by human power, having a seat or saddle for the use of the rider and designed to travel on not more than three wheels, with a motor rated not in excess of two brake horsepower and not capable of propelling the vehicle at a speed greater than 30 miles per hour on level ground and with a power-drive system that functions directly or automatically without clutching or shifting gears by the operator after the drive system is engaged. If an internal combustion engine is used, the displacement may not exceed 50 cubic centimeters. The term does not include an electric bicycle.
Motorcycle means any motor vehicle having a seat or saddle for the use of the rider and designed to travel on not more than three wheels in contact with the ground (including those vehicles commonly known as motor scooters). The term includes an autocycle, but does not include a tractor, a moped, an electric bicycle, or any vehicle in which the operator is enclosed by a cabin unless it meets the requirements set forth by the National Highway Traffic Safety Administration for a motorcycle.
Motorized bicycle means a bicycle propelled by a combination of human power and an electric helper motor capable of propelling the vehicle at a speed of not more than 20 miles per hour on level ground, having two tandem wheels, and including any device generally recognized as a motorized bicycle though equipped with two front or two rear wheels. The term does not include such a vehicle with a seat height of no more than 25 inches from the ground when the seat is adjusted to its highest position or a scooter or similar device.
Motorized scooter means any vehicle or micromobility device that is powered by a motor with or without a seat or saddle for the use of the rider, which is designed to travel on not more than three wheels, and which is not capable of propelling the vehicle at a speed greater than 20 miles per hour on level ground. The term does not include an electric bicycle.
The following shall apply to any proposal to increase the maximum allowable FAR within any zoning district.
Any ordinance subject to this Section 7.1.10 shall require a 3-step review process before the Planning Board, as follows:
Any ordinance subject to this section 7.1.10 shall require a 3-step review process before the City Commission, as follows:
The city commission, by an affirmative five-sevenths vote, may waive the requirements set forth in sections 7.1.10.1, 7.1.10.2, 7.1.10.3, and 7.1.10.4 for the following types of amendments:
If the city commission waives the requirements set forth in sections 7.1.10.1, 7.1.10.2, 7.1.10.3, and 7.1.10.4 the amendment shall otherwise be subject to the applicable notice and amendment provisions in chapter 2, article IV of the Land Development Regulations.
| Symbol | District |
|---|---|
| RS-1 | Single-family residential |
| RS-2 | Single-family residential |
| RS-3 | Single-family residential |
| RS-4 | Single-family residential |
| TH | Townhome residential |
| RM-1 | Residential multifamily, low intensity |
| RM-2 | Residential multifamily, medium intensity |
| RM-3 | Residential multifamily, high intensity |
| RM-PRD | Multifamily, planned residential development |
| RM-PRD 2 | Multifamily, planned residential development |
| RO | Residential/office |
| CD-1 | Commercial, low intensity |
| CD-2 | Commercial, medium intensity |
| CD-3 | Commercial, high intensity |
| MXE | Mixed use entertainment |
| TC-1 | North Beach Town Center core |
| TC-2 | North Beach Town Center mixed-use |
| TC-3 | North Beach Town Center residential/office |
| TC-C | North Beach Town Center-Central Core |
| R-PS1 | Residential medium-low density |
| R-PS2 | Residential medium density |
| R-PS3 | Residential medium-high density |
| R-PS4 | Residential high density |
| C-PS1 | Commercial limited mixed use |
| C-PS2 | Commercial general mixed use |
| C-PS3 | Commercial intensive mixed use |
| C-PS4 | Commercial intensive phased bayside |
| RM-PS1 | Residential mixed-use development |
| GU | Government use |
| CCC | Convention center district |
| SPE | Special public facilities educational |
| HD | Hospital district |
| MR | Marine recreational |
| WD-1 | Waterway district |
| WD-2 | Waterway district |
| GC | Golf course district |
| I-1 | Industrial, light |
The locations of the districts are shown on a map designated as the city zoning district map, dated and signed by the mayor and city clerk upon adoption. This zoning district map, together with all notations, dimensions, references and symbols shown thereon, pertaining to such districts, is hereby adopted by reference and declared to be as much a part of these land development regulations as if fully described herein. Such map shall be available for public inspection in the office of the planning, design and historic preservation division and any later alterations to this map, adopted by amendment as provided in these land development regulations, shall be similarly dated, filed, and made available for public reference.
A district name or symbol shown on the district map indicates that the regulations pertaining to the district designated by that name or letter-number combination extend throughout the whole area in the municipality bounded by the district boundary lines within which such name or symbol is shown or indicated, except as otherwise provided by this section. Where uncertainty exists with respect to the boundaries of the various districts as shown on the map accompanying and made a part of these land development regulations, the following rules apply:
The RS-1, RS-2, RS-3, RS-4 single-family residential districts are designed to protect and preserve the identity, image, environmental quality, privacy, attractive pedestrian streetscapes, and human scale and character of the single-family neighborhoods and to encourage and promote new construction that is compatible with the established neighborhood context. In order to safeguard the purpose and goals of the single-family districts, mandatory review criteria are hereby created to carry out the provisions of these land development regulations.
| USES TABLE (RS) | |
|---|---|
| RESIDENTIAL | |
| Single-family detached dwellings | P |
| Accessory Dwelling Unit | A* |
| LODGING | |
| OFFICE | |
| Home Based Business Office | A* |
| COMMERCIAL | |
| Commercial use of single-family home | Pro * |
| Gambling and Casinos pursuant to section 7.1.8 | Pro |
| Rentals or leases of mopeds, motorcycles, and motorized bicycles pursuant to section 7.1.8 | Pro |
| Neighborhood and Retail Fulfillment Centers pursuant to section 7.1.8 | Pro |
| CIVIC | |
| Religious Institution | C* |
| CIVIL SUPPORT | |
| EDUCATIONAL | |
| Day Care Facility | A* |
| INDUSTRIAL | |
| OTHER | |
| At-grade parking lot | C* |
Key P – Main Permitted Use C - Conditional Use A - Accessory Use Pro - Prohibited Use * See supplemental use regulations below | |
| DEVELOPMENT REGULATIONS TABLE (RS) | ||||||||
|---|---|---|---|---|---|---|---|---|
| RS-1 | RS-2 | RS-3 | RS-4 | |||||
| Maximum FAR | N/A | |||||||
Maximum Density (Dwelling Units per Acre) | 7 DUA | |||||||
| Minimum Unit Size (Square Feet) | 1,800 SF | |||||||
| Maximum Unit Size (% of Lot Area) | 50% | |||||||
| LOT OCCUPATION | RS-1 | RS-2 | RS-3 | RS-4 | ||||
| Minimum Lot Area (square feet) | 30,000 SF | 18,000 SF | 10,000 SF | 6,000 SF | ||||
| Minimum Lot Width (feet) | 100 feet (1) | 75 feet (1) | 50 feet - Oceanfront lots (1) 60 feet - All others (1) | 50 feet (1) | ||||
| Maximum Lot Coverage for a single-story Home (% of lot area) | 40% (2) | |||||||
| Maximum Lot Coverage for a 2story Home (% of lot area) | 30% | |||||||
| BUILDING SETBACKS | RS-1 | RS-2 | RS-3 | RS-4 | ||||
| Front Setback Ⓐ | 20 feet -1 Story Structure (5)(6) - provided that any future addition of a two-story attached structure shall be setback a minimum of 40 feet 30 feet - 2 Story Structures - (5)(6) | |||||||
| Side, facing a street Setback Ⓑ | 10% of the lot width or 15 feet, whichever is greater (5)(6) and the sum of the required side yards shall be at least 25% of the lot width | |||||||
| Side, Interior Setback Ⓒ Lots 65 feet in width or less | 7.5 feet and the sum of the required side yards shall be at least 25% of the lot width | |||||||
| Side, Interior Setback Ⓒ Lots greater than 65 feet in width | 10% of the lot width or 10 feet, whichever is greater and the sum of the required side yards shall be at least 25% of the lot width | |||||||
| Rear Setback Ⓓ | 15 % of the lot depth (6) 20 feet minimum 50 feet maximum | |||||||
| ||||||||
| BUILDING HEIGHT | RS-1 | RS-2 | RS-3 | RS-4 | ||||
| Maximum Height (stories) | 2 stories | |||||||
Maximum Height (feet) Ⓔ (3)(4) No Understory | 28 ft - flat roofs 31 ft – sloped roofs | 24 ft – flat roofs 27 feet – sloped roofs (4) | 24 ft – flat roofs 27 feet – sloped roofs | |||||
Maximum Height (feet) (3)(4) Understory Home | 31 feet - flat roofs 34 feet - sloped roofs (8) | 28 feet - flat roofs (7) 31 feet - sloped roofs (7)(8) | 28 feet - flat roofs 31 feet - sloped roofs | |||||
NO UNDERSTORY
WITH UNDERSTORY | ||||||||
(1). Except those lots fronting on a cul-de-sac or circular street as defined in lot width. (2). Single story homes shall follow the requirements of section 7.2.2.3.b.7.B. (3). Height shall be measured from the required base flood elevation for the lot, plus freeboard. (See Height of Building definition). Single story homes shall follow the requirements of section 7.2.2.3.b.7.B. (4). Height variances shall be prohibited. However, an additional three (3) feet in overall height, above the maximum permitted height above, may be approved by the Design Review Board (DRB) or Historic Preservation Board (HPB), in accordance with the applicable design review or appropriateness criteria. (5). If an Understory is not provided, at least 50 percent (50%) of the required front yard and side facing a street yard areas (including portions of the rear and front yards) shall be sodded or landscaped pervious open space. With the exception of driveways and paths leading to the building, paving may not extend any closer than 5 feet to the front of the building. When a pool is located in the side yard, facing a street the area of the water may count as part of the open space. Understory homes shall comply with the Understory Level Standards as outlined in subsection 7.2.2.3 (b)(6). In the event that an existing single-family home has an abutting street raised pursuant to an approved city project, and such home was previously permitted with less than 50 percent (50%) of the required front yard area consisting of sodded or landscaped pervious open space, such property may retain the most recent, previously permitted pervious open space configuration, provided the front yard is raised to meet the new street elevation. However, in no instance shall less than 30 percent (30%) of the required front yard be sodded or landscaped pervious open space. Notwithstanding the above, for homes issued a certificate of occupancy or certificate of completion prior to October 30, 2024, the addition of one accessible ramp/walkway, not to exceed five feet (5') in width, leading from the front or street side property line to the first habitable level, shall be an allowable exemption to the minimum 50% pervious open space requirement. (6). At least 70 percent (70%) of the required rear yard shall be sodded or landscaped pervious open space; the water portion of a swimming pool may count toward this requirement, when located above adjusted grade, the water portion of a swimming pool may count towards 50 percent of this requirement, provided adequate infrastructure is incorporated into the design of the pool to fully accommodate on-site stormwater retention. (7).For RS-3 zoned properties, with a minimum lot size of 18,000 square feet, the maximum height is increased to 31 feet for flat roofs and 34 feet for sloped roofs. (8). For single family homes utilizing an understory, if any portion of the home or any accessory structure utilizes a sloped roof, approval of the home by the DRB or HPB, as applicable, shall be required, regardless of building height. | ||||||||
| MINIMUM AND MAXIMUM YARD ELEVATION REQUIREMENTS (RS) | ||
|---|---|---|
| Minimum | Maximum | |
| Front Yard | Future Adjusted Grade (1) (2) (4) | Base Flood Elevation (BFE) (1) (3) (4) |
| Side, Facing a street Yard | ||
| Side, Interior Yard | Base Flood Elevation (BFE) (1) (3) (5) (6) | |
| Rear Yard - Non Waterfront | ||
| Rear Yard - Waterfront | Base Flood Elevation (BFE) plus maximum freeboard (1) (3) | |
| ||
MINIMUM AND MAXIMUM YARD ELEVATIONS | ||
(1). With the exception of driveways, walkways, transition areas, green infrastructure (e.g., vegetated swales, permeable pavement, rain gardens, and rainwater/stormwater capture and infiltration devices), and areas where existing landscaping is to be preserved, which may have a lower elevation. When in conflict with the maximum elevation requirements as outlined in this table, the minimum elevation requirements shall still apply. (2). The minimum yard elevation requirements shall not apply to existing structures or properties containing single-family homes individually designated as historic structures, or to properties with single-family homes designated as "contributing" within a local historic district. (3). In no instance shall the elevation of a required yard exceed DFE. (4). The maximum height of any fence(s) or wall(s) in the required front yard, shall be measured from existing grade. (5). When the average grade of an adjacent lot along the abutting side yard is equal or greater than adjusted grade, or when abutting a vacant property, the maximum elevation within the required side yard shall not exceed BFE plus 1 foot. (6). Notwithstanding the above, when abutting property owners have jointly agreed to a higher elevation, both side yards may be elevated to the same higher elevation through the submission of concurrent building permits, not to exceed the minimum required flood elevation. | ||
| RETAINING WALL REQUIREMENTS | |
|---|---|
| Maximum Height of Retaining Wall | |
| Front | 30 inches above sidewalk elevation, or adjacent grade if no sidewalk is present (1) (3) (4) |
| Side, Facing a Street | |
| Side, Interior | At the property line, the maximum height of retaining walls shall not exceed 3 feet above sidewalk elevation, or adjacent grade if no sidewalk is present. (2) (3) (4) |
| Rear | |
| |
(1). The maximum slope of the required front and side yard facing a street shall not exceed 11 percent (11%) (5:1 horizontal:vertical) (2). For properties in which the required yard elevation is greater than the yard elevation of the neighboring lot, either a retaining wall at the perimeter of the property or a slope of maximum (5:1 horizontal: vertical), or a combination of both, shall be provided. (See section 7.2.2.3.b.11.G) (3). Retaining walls shall be finished with stucco, stone, or other high quality materials, in accordance with the applicable design review or appropriateness criteria of section 7.2.2.3.b. (4). Retaining walls shall be consistent with the requirements for fences and walls in subsection 12.H. below. | |
| ACCESSORY BUILDING STANDARDS TABLE (RS) | |
|---|---|
| Maximum Lot Coverage (%) | 25% of the area of the required rear yard (1) |
| Size Calculations | The area of enclosed accessory buildings shall be included in the overall unit size calculation for the site. |
| ACCESSORY BUILDING SETBACKS | |
| Side facing a street Setback Ⓑ | |
1 Story Structures | 15 feet |
2 Story Structures | 15 feet |
| Side interior Setback Ⓒ | |
1 Story Structures | 7.5 feet |
2 Story Structures | 10 feet or the required side yard setback, whichever is greater |
| Rear Setback Ⓓ | |
1 Story Structures | 7.5 feet One-half (1/2) of the required rear setback - When facing a waterway |
2 Story Structures | 15 feet One-half (1/2) of the required rear setback or 15 feet, whichever is greater - When facing a waterway |
| Building Separation | |
| Building Separation Ⓕ Accessory buildings shall be separated from the main home by a minimum of 5 feet, open to the sky with no overhead connections. | |
| |
| ACCESSORY BUILDING HEIGHT | |
| Maximum Height (stories) | 2 stories |
| Maximum Height (feet) | |
1 story structure | 12 feet (2) (3) |
2 story structure | 20 feet (2) (3) |
(1). Accessory buildinng s that are not part of the main building, shall be included in the overall lot coverage calculations for the site and may be constructed in a rear yard, provided such accessory building (or accessory buildings) does not occupy more than 25 percent 25% of the area of the required rear yard. Areas enclosed by screen shall be included in the computation of area occupied in a required rear yard lot, but an open uncovered swimming pool shall not be included. (2). Height for accessory buildings shall be measured from the Base Flood Elevation (BFE) plus freeboard of 1 foot. (3). The allowable height exceptions set forth in section 7.5.2 shall not apply to accessory buildings in single-family districts. | |
| CARPORTS AND SOLAR CARPORTS STANDARDS TABLE (RS) | |||
|---|---|---|---|
| Maximum Carport and Solar Carport Size | 20 feet width 20 feet length | ||
| SETBACKS | Car Port | Solar Car Port | |
| Front Setback Ⓐ | 18 inches min (1) | 15 feet min (1) | |
| Side, Facing a Street Setback Ⓑ | 5 feet min (1) | ||
| Side, Interior Setback Ⓒ | 4 feet min | 4 feet min | |
| Rear Setback Ⓓ | 5 feet min (2) | 5 feet min (2) | |
CARPORT
| |||
| Minimum Height | 7 feet (Unobstructed view between grade and lower edge of the carport or solar carport) | ||
(1). Provided the carport or solar carport is attached to or immediately adjacent to the main building. When a carport or solar carport is detached and located more than 12 inches from the main home it shall not be located in the required front or side-facing-the-street yards. (2). The sides of the carport or solar carport that face the required rear yard may be permitted to align with the walls of the existing residence, provided the residence is located a minimum of 5 feet from the rear property line. | |||
| DRIVEWAY AND PARKING SPACES STANDARDS TABLE (RS) | ||
|---|---|---|
| Minimum Setback | ||
Front | 5 feet min (1) | |
Side, Facing a Street | 5 feet min (1) | |
Side, Interior | 4 feet min | |
Rear | 5 feet min | |
| ||
(1). Driveways and parking spaces parallel to the front property line. | ||
| FENCES, WALLS AND GATES STANDARDS TABLE (RS) | ||
|---|---|---|
| Maximum Height at the Front Yard Ⓐ | ||
At the property line | 5 feet, as measured from grade | |
Set back from the property line | 5 feet plus 1 foot for every 2 feet of setback up to a maximum of 7 feet, as measured from grade | |
| Maximum Height at the Side Facing a Street Yard, Waterway or Golf Course Ⓐ | ||
Side Facing a Street, Waterway or Golf Course Yard | 5 feet, as measured from grade (1) | |
| ||
| Maximum Height at the Side Interior and Rear Yards | ||
Side Interior Yard | 7 feet, as measured from grade Ⓑ 7 feet, as measured from future adjusted grade Ⓒ (1) (2) | |
Rear Yard | ||
| ||
(1). In the event that a property has approval to be improved at future adjusted grade, the overall height of fences, walls and gates may be measured from future adjusted grade, provided that the portion of such fences, walls or gates above 4 feet in height consists of open pickets with a minimum spacing of 3 inches, unless otherwise approved by the Design Review Board (DRB) or Historic Preservation Board (HPB), as applicable. (2). Pre-1966 exemption. Notwithstanding the above, for properties containing a pre-1966 architecturally significant home, where a substantial portion of the existing rear yard and/or side yard is located at least 12 inches above grade, the overall height of fences, walls and gates may be measured from the elevation of the existing yard, provided that the portion of such fences, walls or gates above 4 feet in height consists of open pickets with a minimum spacing of 3 inches, unless otherwise approved by the design review board or historic preservation board, as applicable. | ||
Walkways: Maximum 44 inches. May be increased to a maximum of 5 feet for those portions of walkways necessary to provide Americans with Disabilities Act (ADA)-required turn-around areas and spaces associated with doors and gates. Walkways in required yards may exceed these restrictions when approved through the design review or certificate of appropriateness procedure, as applicable, and pursuant to section 2.5.3, of this Code. Notwithstanding the foregoing, when required to accommodate ADA access to a single-family home in the RS district that was issued a certificate of occupancy or certificate of completion prior to October 30, 2024, or an existing contributing building within a local historic district, or National Register District, an ADA walkway and ramp may be located within a front street side or interior side yard, with no minimum setback, provided all of the following are adhered to:
Electric vehicle charging stations and fixtures, located immediately next to an off-street parking space, shall be permitted where driveways and parking spaces are located.
Electrical transformers and associated concrete pads, as required by Florida Power and Light (FPL) may be located up to the front or street side property line.
Planters, not to exceed 4 feet in height when measured from the finished floor of any floor of the primary structure.
| SWIMMING POOLS STANDARDS TABLE | ||
|---|---|---|
| SWIMMING POOL SETBACKS | ||
| To the swimming pool deck or platform, the exterior face of an infinity edge pool catch basin, or screen enclosure associated or not associated with a swimming pool. | To the water's edge of the swimming pool or to the waterline of the catch basin of an infinity edge pool. | |
| Front Setback Ⓐ | Principal building setback minimum | |
| Side facing a street Setback Ⓑ | 10 feet (1) | 11.5 feet |
| Side, Interior Setback Ⓒ | 7.5 feet (1) | 9 feet |
| Rear Setback Ⓓ | 6 feet (1) (2) (3) | 7.5 feet (2) |
| ||
(1). For properties containing a pre-1942 architecturally significant home, an individually designated historic home, or a contributing single-family home located in a local historic district, a 5 foot setback shall be required from the property line to the swimming pool, deck or platform, the exterior face of an infinity edge pool catch basin, or screen enclosure. (2). For oceanfront properties, the setback shall be measured from the old city bulkhead line. (3). Swimming pool decks may extend to the property line and be connected to a dock and its related decking when abutting upon any bay or canal. | ||
| ALTOS DEL MAR HISTORIC DISTRICT DEVELOPMENT REGULATIONS TABLE (RS) | ||||
|---|---|---|---|---|
| LOT OCCUPATION | RS-3 | RS-4 | ||
| Minimum Lot Width (feet) | 50 feet | |||
| Maximum Lot Width (feet) | 100 feet (two adjoining lots) (1) | |||
| RS-3 | RS-4 | |||
| Maximum Unit Size (square feet) | 4,700 SF for habitable major structures. 1,700 square feet for the understructure and nonhabitable major structures. An additional 600 square feet shall be allowed for the garage. | 3,250 SF No variances shall be granted with regard to the maximum square footage of structures. An additional 400 square feet shall be allowed for the garage. | ||
| Maximum Unit Size for two adjoining 50 foot lots (square feet) | 7,000 SF for habitable major structures. 3,400 square feet for the understructure and nonhabitable major structures. An additional 600 square feet shall be allowed for the garage. | 3,750 SF An additional 400 square feet shall be allowed for the garage. | ||
| BUILDING SETBACKS | RS-3 | RS-4 | ||
| Atlantic Way Setback Ⓐ | 12 feet - Up to 25 feet in building height 75 feet - Greater than 25 feet in height | 5 feet | ||
| Ocean Setback Ⓐ | 130 feet from Miami Beach Bulkhead Line for principal and accessory buildings - Up to 25 feet in building height 140 feet from the Miami Beach Bulkhead Line; - Greater than 25 feet in height: 80 feet from Miami Beach Bulkhead Line for pools, decks, and any other structures: 30 inches or less above grade. | N/A | ||
| Collins Avenue Setback Ⓐ | N/A | 20 feet (for principal and accessory buildings) | ||
| Side, facing a street Setback Ⓑ | 5 feet | |||
| Side, Interior Setback Ⓒ | 5 feet or 10% of lot width, whichever is greater. | |||
| ||||
| BUILDING HEIGHT Ⓔ | ||||
| RS-3 | RS-4 | |||
| Maximum Height (stories) | 3 | 2 | ||
| Maximum Height (feet) | 37 feet above grade (2)
| 25 feet above grade (2) | ||
RS-3 RS-4 | ||||
(1). No variance from this provision shall be granted. (2). The height regulation exceptions contained in section 7.5.2 shall not apply except chimneys and air vents are permitted. | ||||
| DEVELOPMENT REGULATIONS TABLE (For Development Consisting of 2 or More Platted Lots in the 40th Street Overlay) | |
| Maximum Unit Size (% of Lot Area) | 100% |
| Maximum Lot Coverage (% of lot area) | 50% |
| BUILDING SETBACKS | |
| Front Setback | 20 feet |
| Side, Facing a Street Setback | 5 feet |
| BUILDING HEIGHT | |
| Maximum Height (stories) | 3 stories |
| Maximum Height (feet) | 36 ft - flat roofs 39 ft - sloped roofs |
Religious institutions and standalone schools, in existing rehabilitated structures or new construction, shall be conditional uses, subject to regulations in section 2.5.2, conditional use procedure.
All new construction or additions to existing structures shall be compatible with the scale of the surrounding residential neighborhood and shall be designed to maintain a residential character, as determined by the planning director or designee, or the design review board, as applicable.
Permits for new construction, alterations or additions to existing structures shall be subject to design review by the planning director or designee. For those sites consisting of two or more platted lots, the review and approval of the design review board shall be required.
The following regulations shall apply to sites consisting of two or more platted lots:
Dormitories associated with religious institutions shall be a conditional use, subject to the regulations in section 2.5.2, conditional use procedure. Thwe number of individual dormitories shall not exceed an aggregate of 4 dormitory units per platted lot, and there shall be a maximum of up 4 beds in each dormitory unit.
Covered stairs and walkways shall be exempt from unit size and lot coverage calculations.
Roof top access and roof top uses shall not be permitted.
The overlay district shall be exempt from the following regulations applicable to the underlying zoning district:
Section 7.2.2.3(b)(2): Two Story Houses Standards.
Section 7.2.2.3(b)(3): Nonconforming yards, for developments consisting of two or mor platted lots.
7.2.2.3(b)(4): Limitation on contiguous lots, not to exceed three platted lots.
7.2.2.3(b)(7)A: The general statement shall not apply to the 40th Street Overlay District.
The TH townhome residential district is designed to accommodate townhome developments.
| USES TABLE (TH) | |
|---|---|
| RESIDENTIAL | |
| Single-family detached dwellings | P |
| Townhomes | P |
| LODGING | |
| OFFICE | |
| COMMERCIAL | |
| Retail | A * |
| Alcoholic beverage establishments | Pro * |
| Gambling and Casinos pursuant to section 7.1.8 | Pro |
| Rentals or leases of mopeds, motorcycles, and motorized bicycles pursuant to section 7.1.8 | Pro |
| Neighborhood and Retail Fulfillment Centers pursuant to section 7.1.8 | Pro |
| CIVIC | |
| CIVIL SUPPORT | |
| EDUCATIONAL | |
| INDUSTRIAL | |
| OTHER | |
Key P – Main Permitted Use C - Conditional Use A - Accessory Use Pro - Prohibited Use * See supplemental use regulations below | |
| DEVELOPMENT REGULATIONS TABLE (TH) | |
|---|---|
| Maximum FAR | 0.70 |
| Maximum Density (Dwelling Units Per Acre) | 30 DUA (80% bonus for workforce or affordable units) |
| MINIMUM UNIT SIZE (SQUARE FEET) | |
| Unit | 900 SF |
| MINIMUM AVERAGE UNIT SIZE (SQUARE FEET) | |
| Unit | N/A -The number of units may not exceed the maximum density set forth in thecomprehensive plan. |
| LOT OCCUPATION | |
| Minimum Lot Area (square feet) | 5,000 SF |
| Minimum Lot Width (feet) | 50 feet |
| Maximum Lot Coverage (% of lot area) | N/A |
| BUILDING SETBACKS | |
| Front Setback Ⓐ | 20 feet |
| Side, Facing a Street Setback Ⓑ | 15 feet |
| Side, Interior Setback Ⓒ | 7.5 feet (1) |
| Rear Setback Ⓓ | 20 feet |
| |
| BUILDING HEIGHT | |
| Maximum Height (feet) Ⓔ | 40 feet (except as provided in section 7.5.2) |
| |
All townhome projects shall be reviewed pursuant to the design review procedures as set forth in section 2.5.3.
a. Public-Private Parking Agreement.
In cases where the city commission approves after public hearing a public-private parking agreement for a neighborhood based upon an approved street improvement plan, the minimum front yard setback for parking subject to the agreement shall be 0 feet. The street improvement plan must be approved by the design review board if outside an historic district, or the historic preservation board if inside an historic district.
The RM-1 residential multifamily, low density district is designed for low intensity, low rise, single-family and multiple-family residences.
| USES TABLE (RM-1) | |
|---|---|
| RESIDENTIAL | |
| Single-family detached dwellings | P |
| Townhomes | P |
| Apartments | P |
| LODGING | |
| Apartment Hotels | Pro* |
| Hotels | Pro* |
| Suite Hotels | Pro* |
| Bed and Breakfast Inn | Pro* |
| Hostels | Pro* |
| OFFICE | |
| Administrative Offices | A* |
| COMMERCIAL | |
| Accessory Commercial Use | Pro* |
| Hall for Hire | Pro* |
| Restaurant serving alcoholic beverages | Pro* |
| Accessory outdoor bar counters | Pro* |
| Accessory outdoor open air entertainment establishment | Pro* |
| Entertainment establishment | Pro* |
| Retail | Pro* |
| Restaurants with or without accessory bars, and personal services | Pro* |
| Alcoholic beverage establishments | Pro * |
| Gambling and Casinos pursuant to section 7.1.8 | Pro* |
| Rentals or leases of mopeds, motorcycles, and motorized bicycles pursuant to section 7.1.8 | Pro* |
| Neighborhood and Retail Fulfillment Centers pursuant to section 7.1.8 | Pro* |
| CIVIC | |
| Religious Institutions with occupancy of 199 persons or less | C |
| Religious Institutions with occupancy of more than 199 persons | C |
| CIVIL SUPPORT | |
| Private and Public Institutions | C |
| Accessory neighborhood impact establishments | C* |
| EDUCATIONAL | |
| Day Care Facility | C |
| Schools | C |
| Family Day Care Center | A* |
| INDUSTRIAL | |
| OTHER | |
| Commercial or noncommercial parking lots and garages | C |
| Parking lots or garages | Pro* |
Key P – Main Permitted Use C - Conditional Use A - Accessory Use Pro - Prohibited Use * See supplemental use regulations below | |
a. The development regulations in the RM-1 residential multifamily, low density district are as follows:
| DEVELOPMENT REGULATIONS TABLE (RM-1) | |
|---|---|
| Maximum FAR | 1.25 |
west side of Collins Avenue between 76th and 79th Streets (MAP EXHIBIT-5) | 1.4 |
Public and private institutions: | 1.25 |
Public and private institutions: | 1.4 |
| Maximum Density (Dwelling Units per Acre) | 60 DUA (80% bonus for workforce or affordable units) |
| MINIMUM UNIT SIZE (SQUARE FEET) | |
| Single Family Detached House | 1,800 SF (4) |
| Apartments/Multi-family Units | |
New Construction | 550 SF |
Non-elderly and elderly low and moderate income housing | 400 SF |
Workforce Housing | 400 SF |
Rehabilitated Buildings | 400 SF |
| Lodging and Hotel Units | 335 SF + (5) |
Hotel units within rooftop additions to contributing structures in a historic district and individually designated historic buildings | 335 SF |
| MINIMUM AVERAGE UNIT SIZE (SQUARE FEET) | |
| Single Family Detached House | N/A |
| Apartments/Multi-family Units | |
New Construction | 800 SF (6)(7) |
Non-elderly and elderly low and moderate income housing | 400 SF (6)(7) |
Workforce Housing | 400 SF (6)(7) |
Rehabilitated Buildings | 550 SF (6)(7) |
| Lodging and Hotel Units | N/A |
| LOT OCCUPATION | |
| Minimum Lot Area (square feet) | 5,600 SF |
| Minimum Lot Width (feet) | N/A |
| Maximum Lot Coverage (% of lot area) | |
For lots equal to or greater than 65 feet in width | 45% (3) |
For lots less than 65 feet in width | N/A |
| BUILDING SETBACKS | |
| Front Setback Ⓐ | |
Subterranean | 20 feet 50 feet (For lots A and 1-30 of the Amended Plat Indian Beach Corporation Subdivision and lots 231-237 of the Amended Plat of First Ocean Front Subdivision) |
Pedestal | |
Tower | 20 feet + 1 foot for every 1 foot increase in height above the pedestal, to a maximum of 50 feet, then shall remain constant. 50 feet (For lots A and 1-30 of the Amended Plat Indian Beach Corporation Subdivision and lots 231-237 of the Amended Plat of First Ocean Front Subdivision) |
| Side, Facing a Street Setback Ⓑ Lots less than 65 feet in width | |
Subterranean | 7.5 feet |
Pedestal | |
Tower | 10 feet or 8% of lot width, whichever is greater, and Sum of the side yards shall equal 16% of the lot width |
| Side, Facing a Street Setback Ⓑ Lots equal or greater than 65 feet in width | |
Subterranean | 10 feet or 8% of lot width, whichever is greater, and sum of the side yards shall equal 16% of lot width |
Pedestal | |
Tower | |
| Side, Interior Setback Ⓒ Lots less than 65 feet in width | |
Subterranean | 7.5 feet (1) |
Pedestal | |
Tower | 7.5 feet plus 10% of the height of the tower portion of the building (1) 50 feet maximum |
| Side, Interior Setback Ⓒ Lots equal or greater than 65 feet in width | |
Subterranean | 10 feet or 8% of lot width, whichever is greater, and sum of the side yards shall equal 16% of lot width (1) |
Pedestal | |
Tower | 10 feet plus 10% of the height of the tower portion of the building. The total required setback shall not exceed 50 feet. (1) |
| Rear Setback Ⓓ | |
Subterranean | 10 % of lot depth (1) |
Pedestal | |
Tower | 15 % of lot depth (1) |
| |
| BUILDING HEIGHT | |
| Maximum Height Ⓔ | 50 feet |
For properties outside a local historic district with a ground level consisting of non-habitable parking and/or amenity uses | 55 feet |
Historic District | 40 feet |
Flamingo Park Local Historic District (MAP EXHIBIT-6) | 35 feet (2) |
For properties located north of Normandy Drive (MAP EXHIBIT-4) having a lot area greater than 30,000 square feet, which are individually designated as an historic site. | 80 feet |
| |
| |
b. Exterior building and lot standards (RM-1)
See section 7.1.2.3
c. Ground floor requirements (RM-1)
When parking or amenity areas are provided at the Understory Level below the first habitable level section 7.1.2.2.c shall apply.
e. Regulations for new construction (RM-1)
All floors of a building containing parking spaces shall follow Parking Screening Standards in section 7.1.6.
f. Lot aggregation (RM-1)
No more than two (2) contiguous lots may be aggregated for development purposes, with the exception of projects classified as affordable and/or workforce housing.
g. Public-Private Parking Agreement (RM-1)
In cases where the city commission approves after public hearing a public-private parking agreement for a neighborhood based upon an approved street improvement plan, the minimum front yard setback for parking subject to the agreement shall be 0 feet. The street improvement plan must be approved by the design review board if outside an historic district, or the historic preservation board if inside an historic district.
See section 7.3.8.
| DEVELOPMENT REGULATIONS (NORTH BEACH PRIVATE AND PUBLIC SCHOOL OVERLAY DISTRICT – RM-1) | |
| Minimum Developable Lot Area (Square Feet) | 5,000 SF |
| Minimum Developable Lot Width (Feet) | 50 feet |
| Maximum Developable Lot Width (Feet) | N/A |
| Maximum Developable Aggregation (Platted Lots) | Schools: Up to nine (9) lots may be aggregated |
| SETBACK REQUIREMENTS (NORTH BEACH PRIVATE AND PUBLIC SCHOOL OVERLAY DISTRICT – RM-1) | |
|---|---|
| Front | 10 feet |
| Side, Facing a Street | |
| Lot width of 60 feet or less | 5 feet (non-waterfront) |
| Lot width greater than 60 feet | 7.5 feet or 8% of lot width, whichever is greater (non-waterfront) |
| Side, Interior | 5 feet |
| Rear | 5 feet (non-waterfront) |
The RM-2 residential multifamily, medium intensity district is designed for medium intensity multiple-family residences.
| USES TABLE (RM-2) | ||
|---|---|---|
| RESIDENTIAL | ||
| Single-family detached dwellings | P | |
| Townhomes | P | |
| Apartments | P | |
| LODGING | ||
| Apartment Hotels | P* Pro* | |
| Hotels | P* Pro* | |
| Suite Hotels | P* | |
| Hostels | Pro* | |
| OFFICE | ||
| Offices | P* A* | |
| Non-medical office uses | C* | |
| COMMERCIAL | ||
| Accessory Commercial Use | A* | |
| Hall for Hire | C* | |
| Personal service uses | C* | |
| Restaurants, cafes and/or eating and drinking establishments, which include entertainment | C* A* | |
| Retail Uses | A* | |
| Outdoor bar counters | C* A* | |
| Alcoholic beverage establishments | A* | |
| Accessory outdoor entertainment establishment | Pro* | |
| Accessory open air entertainment establishment | Pro* | |
| Entertainment establishment | Pro* C* A* | |
| Accessory outdoor bar counter | Pro* | |
| Health Clubs | A* | |
| Gambling and Casinos pursuant to section 7.1.8 | Pro | |
| Rentals or leases of mopeds, motorcycles, and motorized bicycles pursuant to section 7.1.8 | Pro | |
| Neighborhood and Retail Fulfillment Centers pursuant to section 7.1.8 | Pro | |
| CIVIC | ||
| Stand-alone religious Institutions | C | |
| Religious Institutions with occupancy of 199 persons or less | C | |
| CIVIL SUPPORT | ||
| Private and Public Institutions | C | |
| Accessory neighborhood impact establishments | C* | |
| EDUCATIONAL | ||
| Day Care Facility | C | |
| Schools | C | |
| Family Day Care Centers | A* | |
| INDUSTRIAL | ||
| OTHER | ||
| Commercial or noncommercial parking lots and garages | C | |
Key | ||
| DEVELOPMENT REGULATIONS TABLE (RM-2) | ||
|---|---|---|
| Maximum FAR | 2.0 | |
| Maximum Density (Dwelling Units Per Acre) | 100 DUA (80% bonus for workforce or affordable units) | |
| MINIMUM UNIT SIZE (SQUARE FEET) | ||
| Single Family Detached House | 1,800 SF (2) | |
| Apartments/Multi-family Units | ||
New Construction | 550 SF | |
Non-elderly and elderly low and moderate income housing | 400 SF | |
Workforce Housing | 400 SF | |
Rehabilitated Buildings | 400 SF | |
| Lodging and Hotel Units | 335 SF + (3) | |
For hotel structures located within the Collins Park District generally bounded by the erosion control line on the east, the east side of Washington Avenue on the west, 23rd Street on the north, and 17th Street on the south (MAP EXHIBIT-11) | 335 SF | |
Hotel units within rooftop additions to contributing structures in a historic district and individually designated historic buildings | 335 SF | |
| MINIMUM AVERAGE UNIT SIZE (SQUARE FEET) | ||
| Single Family Detached House | N/A | |
| Apartments/Multi-family Units | ||
New Construction | 800 SF (4)(5) | |
Non-elderly and elderly low and moderate income housing | 400 SF (4)(5) | |
Workforce Housing | 400 SF (4)(5) | |
Rehabilitated Buildings | 550 SF (4)(5) | |
| Lodging and Hotel Units | N/A | |
| LOT OCCUPATION | ||
| Minimum Lot Area (square feet) | 7,000 SF | |
| Minimum Lot Width (feet) | 50 feet | |
| Maximum Lot Coverage (%) | N/A | |
| BUILDING SETBACKS | ||
| Front Setback Ⓐ | OCEANFRONT | NON-OCEANFRONT |
Subterranean | 20 feet | |
Pedestal | ||
Tower | 20 feet + 1 foot for every 1 foot increase in height above 50 feet, to a maximum of 50 feet, then shall remain constant. | |
| Side, Facing a Street Setback Ⓑ Lots less than 65 feet in width | OCEANFRONT | NON-OCEANFRONT |
Subterranean | 7.5 feet | |
Pedestal | ||
Tower | 10 feet or 8% of lot width, whichever is greater, and the minimum sum of the side yards shall equal 16% of lot width. | |
| Side, Facing a Street Setback Ⓑ Lots equal or greater than 65 feet in width | OCEANFRONT | NON-OCEANFRONT |
Subterranean | 10 feet or 8% of lot width, whichever is greater, and the minimum sum of the side yards shall equal 16% of lot width. | |
Pedestal | ||
Tower | ||
| Side, Interior Setback Ⓒ Lots less than 65 feet in width | OCEANFRONT | NON-OCEANFRONT |
Subterranean | 7.5 feet (1) | |
Pedestal Up to 60 feet in height | ||
Tower above 60 feet in height | 7.5 feet plus 10% of the height of the tower portion of the building. (1) 50 feet maximum | |
| Side, Interior Setback Ⓒ Lots equal or greater than 65 feet in width | OCEANFRONT | NON-OCEANFRONT |
Subterranean | 10 feet or 8% of lot width, whichever is greater, and the minimum sum of the side yards shall equal 16% of lot width. (1) | |
Pedestal Up to 60 feet in height | ||
Tower | The required pedestal setback plus 10% of the height of the tower portion of the building. (1) 50 feet maximum. | |
| Rear Setback Ⓓ | OCEANFRONT | NON-OCEANFRONT |
Subterranean | 10% of lot depth (1) | |
Pedestal | 20 % of lot depth, 50 feet from the bulkhead line whichever is greater (1) | |
Tower | 25% of lot depth, 75 feet minimum from the bulkhead line whichever is greater (1) | 15% of lot depth (1) |
| ||
| BUILDING HEIGHT | ||
| Maximum Height Ⓔ | 60 feet | |
Historic district (except as provided in section 7.5.2) (MAP EXHIBIT-7) | 50 feet | |
Area bounded by Indian Creek Dr., Collins Ave., 26th St., and 44th St. (MAP EXHIBIT-8) | 75 feet | |
Area fronting west side of Collins Ave. between 76th St. and 79th St. | 75 feet | |
Area fronting west side of Alton Rd. between Arthur Godfrey Rd. and W. 34th St. (MAP EXHIBIT-9) | 85 feet | |
For properties outside a local historic district with a ground level consisting of non-habitable parking and/or amenity uses | 65 feet | |
Lots fronting Biscayne Bay less than 45,000 square feet | 100 feet | |
Lots fronting Biscayne Bay over 45,000 square feet | 140 feet | |
Lots fronting Atlantic Ocean over 100,000 square feet. | 140 feet | |
Lots fronting Atlantic Ocean with a property line within 250 feet of North Shore Open Space Park Boundary (MAP EXHIBIT-10) | 200 feet | |
| ||
| ||
In the RM-2, residential district, all floors of a building containing parking spaces shall comply with section 7.1.6.
a. For properties that front the west side of Alton Road and the Julia Tuttle Causeway (RM-2)
The following regulations shall apply to properties that front the west side of Alton Road and that front 41st Street/Interstate 195 (MAP EXHIBIT-12). In the event of a conflict within this division, the following regulations shall control:
1. The setback requirements shall be as follows:
| SETBACK REQUIREMENTS - PROPERTIES THAT FRONT THE WEST SIDE OF ALTON ROAD AND THE JULIA TUTTLE CASEWAY (RM-2) | |
|---|---|
| Front Setback | N/A |
| Side, facing a street Setback | N/A |
| Interior Side Setback | |
Pedestal | 10 feet (1) |
Tower | 15 feet (1) |
| Rear Setback | |
Pedestal | 10 feet (1) |
Tower | 15 feet (1) |
| |
2. The regulations for new construction provided in section 7.2.5.3.b shall only apply to the eastern frontage of a building, along Alton Road. However, the requirement provided in section 7.1.6.2.b.1. for the eastern frontage along Alton Road shall not apply to a structure that is set back 50 feet or more from Alton Road.
The regulations set forth in this section shall only apply to those properties that are larger than 60,000 square feet in size as of the effective date of the ordinance codified in this section.
| DEVELOPMENT REGULATIONS TABLE: | |
| Maximum FAR | 2.3 |
| BUILDING HEIGHT | |
| Maximum Height | 75 |
| Historic District | 65 |
| For properties outside a local historic district with a ground level consisting of non-habitable parking and/or amenity uses | 80 |
The RM-3 residential multifamily, high intensity district is designed for high intensity multiple-family residences and hotels.
| USES TABLE (RM-3) | |
|---|---|
| RESIDENTIAL | |
| Single-family detached dwellings | P |
| Townhomes | P |
| Apartments | P |
| LODGING | |
| Apartment Hotels | P |
| Hotels | P* |
| Suite Hotels | P* |
| Hostels | P* Pro* |
| OFFICE | |
| Office | A* |
| COMMERCIAL | |
| Commercial | A* |
| Eating or drinking uses | A* |
| Retail | A* |
| Personal service establishment | A* |
| Alcoholic beverage establishments | A* |
| Kennel | A* |
| Accessory outdoor entertainment establishment | C |
| Accessory open air entertainment establishment | C* |
| Accessory outdoor bar counter | A* Pro* |
| Health Clubs | A* |
| Gambling and Casinos pursuant to section 7.1.8 | Pro |
| Rentals or leases of mopeds, motorcycles, and motorized bicycles pursuant to section 7.1.8 | Pro |
| Neighborhood and Retail Fulfillment Centers pursuant to section 7.1.8 | Pro |
| CIVIC | |
| Stand-alone religious institutions | C |
| Religious Institutions with occupancy of 199 persons or less | C |
| CIVIL SUPPORT | |
| Private and Public Institutions | C |
| Accessory neighborhood impact establishments | C |
| EDUCATIONAL | |
| Day Care Facility | C |
| Schools | C P* |
| Family Day Care Facility | A* |
| INDUSTRIAL | |
| OTHER | |
| Commercial or noncommercial parking lots and garages | C |
| Key P - Main Permitted Use C - Conditional Use A - Accessory Use Pro - Prohibited Use * See Supplemental use regulations below | |
Applications for a vested rights determination shall be made in writing and filed with the city manager, city attorney, and city clerk.
| DEVELOPMENT REGULATIONS TABLE (RM-3) | ||
|---|---|---|
| Maximum FAR | ||
Lot area equal to or less than 45,000 square feet | 2.25 (1) (2) | |
Lot area greater than 45,000 square feet | 2.75 (1) (2) | |
Oceanfront lots with lot area greater than 45,000 square feet | 3.0 (1) (2) (11) (12) | |
| Maximum Density (Dwelling Units per acre) | 150 DUA (80% bonus for workforce or affordable units) (11) | |
| MINIMUM UNIT SIZE (SQUARE FEET) | ||
| Single Family Detached House | 1,800 SF (7) | |
| Apartments/Multi-family Units | ||
New Construction | 550 SF | |
Non-elderly and elderly low and moderate income housing | 400 SF | |
Workforce Housing | 400 SF | |
Rehabilitated Buildings | 400 SF | |
| Lodging and Hotel Units | 335 SF + (8) | |
Hotel units within rooftop additions to contributing structures in a historic district and individually designated historic buildings | 335 SF | |
| MINIMUM AVERAGE UNIT SIZE (SQUARE FEET) | ||
| Single Family Detached House | N/A | |
| Apartments/Multi-family Units | ||
New Construction | 800 SF (9)(10) | |
Non-elderly and elderly low and moderate income housing | 400 SF (9)(10) | |
Workforce Housing | 400 SF (9)(10) | |
Rehabilitated Buildings | 550 SF (9)(10) | |
| Lodging and Hotel Units | N/A | |
| LOT OCCUPATION | ||
| Minimum Lot Area (square feet) | 7,000 SF | |
| Minimum Lot Width (feet) | 50 feet | |
| Maximum Lot Coverage (%) | N/A | |
| BUILDING SETBACKS | ||
| Front Setback Ⓐ | OCEANFRONT | NON-OCEANFRONT |
Subterranean | 20 feet 50 feet (For lots A and 1-30 of the Amended Plat Indian Beach Corporation Subdivision and lots 231-237 of the Amended Plat of First Ocean Front Subdivision) (MAP EXHIBIT-4) (11) | |
Pedestal | ||
Tower | 20 feet + 1 foot for every 1 foot increase in height above 50 feet, to a maximum of 50 feet, then shall remain constant. 50 feet (For lots A and 1-30 of the Amended Plat Indian Beach Corporation Subdivision and lots 231-237 of the Amended Plat of First Ocean Front Subdivision) (MAP EXHIBIT-4) (11) | |
| Side, Facing a Street Setback Ⓑ | OCEANFRONT | NON-OCEANFRONT |
Subterranean | 7.5 feet or 8% of lot width, whichever is greater Sum of the side yards shall equal 16% of lot width Minimum (11) | |
Pedestal | ||
Tower | ||
| Side, Interior Setback Ⓒ | OCEANFRONT | NON-OCEANFRONT |
Subterranean | 7.5 feet or 8% of lot width, whichever is greater Sum of the side yards shall equal 16% of lot width Minimum (4)(11) | |
Pedestal | ||
Tower | The required pedestal setback plus 10% of the height of the tower portion of the building. The total required setback shall not exceed 50 feet. (4)(11) | |
| Rear Setback Ⓓ | OCEANFRONT | NON-OCEANFRONT |
Subterranean | 20% of lot depth or 50 feet from the bulkhead line whichever is greater. (4)(11) | 10% of lot depth (4) |
Pedestal | ||
Tower | 25% of lot depth or 75 feet minimum from the bulkhead line whichever is greater. (4)(11) | 15% of lot depth (4) |
| ||
| BUILDING HEIGHT | ||
| Maximum Height Ⓔ | 150 feet (5) (6) | |
Oceanfront lots | 200 feet north of 23rd Street; 150 feet south of 23rd Street | |
Architectural district, New Construction | 120 feet (5)(11) | |
Ground floor additions (whether attached or detached) to existing structures on oceanfront lots | 50 feet (3)(11) | |
| ||
(1) Notwithstanding the above, oceanfront lots in architectural district shall have a maximum FAR of 2.0 (2) Notwithstanding the above, lots which, as of the effective date of this ordinance (November 14, 1998), are oceanfront lots with a lot area greater than 100,000 square feet with an existing building, shall have a maximum FAR of 3.0; however, additional FAR shall be available for the sole purpose of providing hotel amenities as follows: the lesser of 0.15 FAR or 20,000 square feet. (3) Except as provided in section 7.5.2. (4) Notwithstanding the foregoing, rooftop additions to contributing structures in a historic district and individually designated historic district buildings may follow existing nonconforming side, interior pedestal setbacks. (5) Notwithstanding the above, oceanfront lots located in the Miami Beach Architectural District shall be permitted to construct detached additions at a height not to exceed 25 feet and shall have setback requirements as follows:
(6) In the Morris Lapidus/Mid-20th Century Historic District the following shall apply: Roof-top additions, whether attached or detached, may follow the established lines of the interior side setbacks of the existing structure on the site, subject to the review of the historic preservation board. (7) Excluding Accessory Building. (8) For contributing hotel structures, located within an individual historic site, a local historic district or a national register district, which are renovated in accordance with the Secretary of the Interior Standards and Guidelines for the Rehabilitation of Historic Structures as amended, retaining the existing room configuration and sizes of at least 200 square feet shall be permitted. Additionally, the existing room configurations for the above described hotel structures may be modified to address applicable life-safety and accessibility regulations, provided the 200 square feet minimum unit size is maintained, and provided the maximum occupancy per hotel room does not exceed 4 persons. (9) The number of units may not exceed the maximum density set forth in the comprehensive plan. (10) See section 7.1.5.2 for eligibility for average unit size exception. (11) See section 7.3.11 North Beach Oceanfront Overlay regulations. (12) See section 7.3.12, establishing the Alton Beach Overlay regulations. | ||
In the RM-3, residential district, all floors of a building containing parking spaces shall comply with section 7.1.6
| DEVELOPMENT REGULATIONS TABLE | |
| Maximum FAR | |
| Lot area equal to or less than 45,000 square feet | 2.6 |
| Lot area greater than 45,000 square feet | 3.2 |
| Oceanfront lots with lot area greater than 45,000 square feet | 3.5 |
| BUILDING HEIGHT | |
| Maximum Height | 170 |
| Oceanfront Lots | 220 |
| Ground floor additions (whether attached or detached) to existing structures on oceanfront lots | 60 |
The RM-PRD multifamily, planned residential development district is designed for new construction of low intensity multiple-family planned residential development.
| USES TABLE (RM-PRD) | |
|---|---|
| RESIDENTIAL | |
| Single-family detached dwellings | P |
| Townhomes | P |
| Apartments | P |
| LODGING | |
| OFFICE | |
| Office | A* |
| COMMERCIAL | |
| Accessory Commercial Use | A* |
| The sale of alcoholic beverages as an accessory use to a dining facility within apartment buildings | A* |
| Health Clubs | A* |
| Alcoholic beverage establishments | Pro* |
| Gambling and Casinos pursuant to section 7.1.8 | Pro |
| Rentals or leases of mopeds, motorcycles, and motorized bicycles pursuant to section 7.1.8 | Pro |
| Neighborhood and Retail Fulfillment Centers pursuant to section 7.1.8 | Pro |
| CIVIC | |
| CIVIL SUPPORT | |
| Family Day Care Facility | A |
| EDUCATIONAL | |
| OTHER | |
Key P – Main Permitted Use C - Conditional Use A - Accessory Use Pro - Prohibited Use * See Supplemental use regulations below | |
| BUILDING STANDARDS TABLE (RM-PRD) | ||
|---|---|---|
| Maximum FAR | 1.6 | |
| Maximum Density (Dwelling Units per Acre) | 25 DUA (80% bonus for workforce or affordable units) | |
| MINIMUM UNIT SIZE (SQUARE FEET) | ||
| New Construction | 750 SF | |
| MINIMUM AVERAGE UNIT SIZE (SQUARE FEET) | ||
| New Construction | N/A (2) | |
| LOT OCCUPATION | ||
| Minimum Lot Area (acres) | 10 | |
| Minimum Lot Width (feet) | N/A | |
| Maximum Lot Coverage (% of lot area) | N/A | |
| BUILDING SETBACKS For lots over 10 acres that are contiguous to Government Cut and/or the Atlantic Ocean on at least two sides. (No variances shall be permitted from this section) | ||
| Front Setback Ⓐ | ||
Subterranean | 20 feet | |
Pedestal | ||
Tower | ||
| Side, Oceanfront Setback Ⓑ | ||
Subterranean | 50 feet from mean high water line | |
Pedestal | ||
Tower | ||
| Side, interior Setback Ⓒ | ||
Subterranean | 15 feet (1) | |
Pedestal | ||
Tower | ||
| Rear Setback Ⓓ | ||
Subterranean | 50 feet (1) | |
Pedestal | ||
Tower | ||
| ||
| BUILDING SETBACKS For all other lots a lots, development shall meet the residential setback requirements as follows | ||
| Front Setback Ⓐ | OCEANFRONT | NON-OCEANFRONT |
Subterranean | 20 feet | |
Pedestal | 20 feet 50 feet (For lots A and 1-30 of the Amended Plat Indian Beach Corporation Subdivision and lots 231-237 of the Amended Plat of First Ocean Front Subdivision) (MAP EXHIBIT-4) (11) | |
Tower | 20 feet + 1 foot for every 1 foot increase in height above 50 feet, to a maximum of 50 feet, then shall remain constant. 50 feet (For lots A and 1-30 of the Amended Plat Indian Beach Corporation Subdivision and lots 231-237 of the Amended Plat of First Ocean Front Subdivision) (MAP EXHIBIT-4) (11) | |
| Side, Facing a Street Setback Ⓑ | OCEANFRONT | NON-OCEANFRONT |
Subterranean | 5 feet or 5% of lot width, whichever is greater | |
Pedestal | 7.5 feet or 8% of lot width, whichever is greater And Sum of the side yards shall equal 16% of lot width Minimum (11) | |
Tower | ||
| Side, Interior Setback Ⓒ | OCEANFRONT | NON-OCEANFRONT |
Subterranean | 5 feet, or 5% of lot width, whichever is greater 0 feet - If lot width is 50 feet or less | |
Pedestal | 7.5 feet min or 8% of lot width, whichever is greater And Sum of the side yards shall equal 16% of lot width | |
Tower | The required pedestal setback plus 0.10 of the height of the tower portion of the building 50 feet maximum And Sum of the side yards shall equal 16% of lot width | |
| Rear Setback Ⓓ | OCEANFRONT | NON-OCEANFRONT |
Subterranean | 50 feet from bulkhead line | 0 feet |
Pedestal | 20% of lot depth, 50 feet from the bulkhead line whichever is greater | 10% of lot depth |
Tower | 25% of lot depth, 75 feet minimum from the bulkhead line whichever is greater | 15% of lot depth |
| ||
| BUILDING HEIGHT | ||
| Maximum Height Ⓔ | 120 feet | |
| ||
| ||
This district is designed to provide for low intensity multiple-family planned residential development, with limited accessory commercial use.
| USES TABLE (RM-PRD-2) | |
|---|---|
| RESIDENTIAL | |
| Single-family detached dwellings | P* |
| Townhomes | P* |
| Apartments | P |
| LODGING | |
| OFFICE | |
| Professional offices | A* |
| COMMERCIAL | |
| Ground floor retail uses | A* |
| Ground floor commercial uses | A* |
| Health Clubs | A* |
| Alcoholic beverage establishments | Pro |
| Gambling and Casinos pursuant to section 7.1.8 | Pro |
| Rentals or leases of mopeds, motorcycles, and motorized bicycles pursuant to section 7.1.8 | Pro |
| Neighborhood and Retail Fulfillment Centers pursuant to section 7.1.8 | Pro |
| CIVIC | |
| CIVIL SUPPORT | |
| EDUCATIONAL | |
| Family day care faclity | A* |
| INDUSTRIAL | |
| OTHER | |
Key P – Main Permitted Use C - Conditional Use A - Accessory Use Pro - Prohibited Use * See Supplemental use regulations below | |
| DEVELOPMENT REGULATIONS TABLE (RM-PRD-2) | ||
|---|---|---|
| Maximum FAR | 1.45 | |
| Maximum number of total dwelling units within St. Francis Hospital Site | 180 | |
| Maximum Density (Dwelling Units per Acre) | 25 DUA (80% bonus for workforce or affordable units) | |
| MINIMUM UNIT SIZE (SQUARE FEET) | ||
| Townhomes | 1,600 SF | |
| Apartments | 1,000 SF | |
| MINIMUM AVERAGE UNIT SIZE (SQUARE FEET) | ||
| Townhomes | N/A (7) | |
| Apartments | N/A (7) | |
| LOT OCCUPATION | ||
| Minimum Lot Area (Acres) | 7 Acres | |
| Minimum Lot Width (feet) | ||
Up to 20% of the townhouses | 18 feet | |
Remaining townhouses | 24 feet | |
| Maximum Lot Width | ||
Townhouses (feet) | 48 feet (2) | |
| Maximum Lot Coverage (% of lot area) | N/A | |
| Open Space (%) | 9.5 % (1) | |
| BUILDING SETBACKS | Townhouses | Apartment Buildings |
| Front Setback | 6 feet (3) | 20 feet (3) |
| Side, Facing a Street, Setback | 6 feet (3) | 20 feet (3) |
| Side, Interior Setback | 0 | N/A |
| Rear Setback | 0 | N/A |
|
| |
| BUILDING HEIGHT | Townhouses | Apartment Buildings |
| Maximum Number of Stories | 3 | N/A |
| Maximum Height (feet) | 35 feet (4) (5) | 120 feet (6) |
![]() |
| |
| ||
The RO residential/office district is designed to accommodate an office corridor or development compatible with the scale of surrounding residential neighborhoods. The development shall be designed to maintain a residential character.
| USES TABLE (RO) | |
|---|---|
| RESIDENTIAL | |
| Single-Family Dwelling | P |
| Apartments | P |
| LODGING | |
| OFFICE | |
| Offices | P |
| COMMERCIAL | |
| Accessory commercial use | A* |
| Health Club | A* |
| Alcoholic Beverage Establishments | Pro* |
| Gambling and Casinos pursuant to section 7.1.8 | Pro |
| Rentals or leases of mopeds, motorcycles, and motorized bicycles pursuant to section 7.1.8 | Pro |
| Neighborhood and Retail Fulfillment Centers pursuant to section 7.1.8 | Pro |
| CIVIC | |
| Religious Institutions with occupancy of 199 persons or less | CA* |
| CIVIL SUPPORT | |
| EDUCATIONAL | |
| Family Day Care Facility | A* |
| INDUSTRIAL | |
| OTHER | |
| Key P – Main Permitted Use C - Conditional Use A - Accessory Use Pro - Prohibited Use *See Supplemental use regulations below | |
| Development Regulations Table (RO) | |
|---|---|
| Maximum FAR | 0.75 |
| Maximum Density (Dwelling Units Per Acre) | 56 DUA (80% bonus for workforce or affordable units) |
| MINIMUM UNIT SIZE (SQUARE FEET) | |
| Single Family Detached House | 1,800 SF (2) |
| Apartments/Multi-family Units | |
New Construction | 550 SF |
Non-elderly and elderly low and moderate income housing | 400 SF |
Workforce Housing | 400 SF |
Rehabilitated Buildings | 550 SF |
| MINIMUM AVERAGE UNIT SIZE (SQUARE FEET) | |
| Single Family Detached House | N/A |
| Apartments/Multi-family Units | |
New Construction | N/A (3) |
Non-elderly and elderly low and moderate income housing | N/A (3) |
Workforce Housing | N/A (3) |
Rehabilitated Buildings | N/A (3) |
| LOT OCCUPATION | |
| Minimum Lot Area (square feet) | 6,000 SF Residential N/A Office |
| Maximum Lot Coverage (% of lot area) | N/A |
| Minimum Lot Width | 50 Feet Residential N/A Office |
| Maximum Lot Coverage (% of lot area) | N/A |
| BUILDING SETBACKS | |
| Front Setback Ⓐ | 20 feet |
| Side, Facing a Street Setback Ⓑ | 15 feet |
| Side, Interior Setback Ⓒ | 7.5 feet (1) The sum of each side yard shall be at least 25% of the lot width, not to exceed 50 feet |
| Rear Setback Ⓓ | 15 % of the lot depth, 20 feet minimum. |
| |
| BUILDING HEIGHT | |
| Maximum Height Ⓔ | 33 feet |
| |
| |
b. Design Review (RO)
The CD-1 commercial, low intensity district is a retail sales, personal services, shopping district, designed to provide service to surrounding residential neighborhoods.
| USES TABLE (CD-1) | |
|---|---|
| RESIDENTIAL | |
| Apartments | P |
| LODGING | |
| Bed and Breakfast Inn | P* |
| OFFICE | |
| Offices A* | |
| COMMERCIAL | |
| Commercial Uses | P |
| Alcoholic Beverage Establishments | P* C* A* |
| Liquor Store | P*, Pro* |
| Dance Halls | Pro |
| Outdoor Entertainment Establishment | Pro |
| Open Air Entertainment Establishment | Pro |
| Entertainment Establishment | Pro |
| Pawnshops | C |
| Health Clubs | P |
| Accessory outdoor bar counters | Pro |
| Gambling and Casinos pursuant to section 7.1.8 | Pro |
| Rentals or leases of mopeds, motorcycles, and motorized bicycles pursuant to section 7.1.8 | Pro |
| Neighborhood and Retail Fulfillment Centers pursuant to section 7.1.8 | Pro |
| CIVIC | |
| Religious Institutions with occupancy of 199 persons or less | P, A* |
| Religious Institutions with occupancy greater than 199 | C |
| CIVIL SUPPORT | |
| Assisted Living | C* |
| Medical Uses | C* |
| Public and Private Institutions | C |
| Neighborhood Impact Establishment | C |
| EDUCATIONAL | |
| Schools | C P* |
| Day Care Facility | C |
| Family Day Care Facility | A* |
| INDUSTRIAL | |
| Warehouses | C |
| Storage of goods used in, or produced by, permitted industrial uses or related activities | A* |
| Storage of supplies or merchandise normally carried in stock | A* |
| OTHER | |
| Storage and/or parking of commercial vehicles | C* |
| Any use selling gasoline | C |
| Accessory off-street parking and loading spaces | A* |
| Vending machines | A* |
| Solar Panels | A* |
| Neighborhood Impact Structure | C |
Key P – Main Permitted Use C - Conditional Use A - Accessory Use Pro - Prohibited Use *See supplemental use regulations below | |
a. The development regulations in the CD-1 commercial, low intensity district are as follows:
| DEVELOPMENT REGULATIONS TABLE (CD-1) | |
|---|---|
| Maximum FAR | 1.0 |
Mixed Use Buildings (When more than 25 percent (25%) of the total area of a building is used for residential units) | 1.25 |
| Maximum Density (Dwelling Units per Acre) | 60 DUA (80% bonus for workforce or affordable units) |
| MINIMUM UNIT SIZE (SQUARE FEET) | |
| Apartments/Multi-family Units | |
New Construction | 550 SF |
Non-elderly and elderly low and moderate income housing | 400 SF |
Workforce Housing | 400 SF |
Rehabilitated Buildings | 400 SF |
| MINIMUM AVERAGE UNIT SIZE (SQUARE FEET) | |
| Apartments/Multi-family Units | |
New Construction | N/A (3) |
Non-elderly and elderly low and moderate income housing | N/A (3) |
Workforce Housing | N/A (3) |
Rehabilitated Buildings | N/A (3) |
| Lodging and Hotel Units | N/A |
| LOT OCCUPATION | |
| Minimum Lot Area (square feet) | None |
| Minimum Lot Width (feet) | None |
| Maximum Lot Coverage (% of lot area) | None |
| BUILDING SETBACKS | |
| Front Setback | |
Subterranean | 0 feet See section 7.1.2.2 d-e |
Pedestal | |
| Side, Facing a Street Setback | |
Subterranean | 0 feet See section 7.1.2.2 d-e 10 feet (When abutting a residential district, unless separated by a street or waterway) |
Pedestal | |
| Side, Interior Setback | |
Subterranean | 0 feet 10 feet (when abutting a residential district) |
Pedestal | |
| Rear Setback | |
Subterranean | 5 feet 10 feet (When abutting a residential district) 0 feet (separated by a street or waterway) |
Pedestal | |
| |
| BUILDING HEIGHT | |
| Maximum Height | 40 feet (1) (2) |
| |
| |
b. Regulations for New Construction
In the CD-1 district, all floors of a building containing parking spaces shall comply with section 7.1.6
The CD-2 commercial, medium intensity district provides for commercial activities, services, offices and related activities which serve the entire city.
| USES TABLE (CD-2) | |
|---|---|
| RESIDENTIAL | |
| Apartments | P |
| LODGING | |
| Apartment Hotels | P* , Pro* |
| Hotels | P* , Pro* |
| Hostels | P* , Pro* |
| Suite Hotels | P* , Pro* |
| OFFICE | |
| Office | P* |
| COMMERCIAL | |
| Commercial Uses | P |
| Kennel | P |
| Restaurants with alcoholic beverage licenses | P*, C* |
| Alcoholic Beverage Establishments | P* C*A* |
| Dance Halls | C* Pro* |
| Outdoor Entertainment Establishment | C Pro* |
| Open Air Entertainment Establishment | C Pro* |
| Entertainment Establishment | C* Pro* |
| Neighborhood Impact Establishment | C* Pro* |
| Bars | P*, Pro* |
| Pawnshops | C Pro* |
| Funeral Home | C |
| Formula commercial establishment | P*, Pro* |
| Formula restaurant | P*, Pro* |
| Tobacco and Vape Dealers | P*, Pro* |
| Accessory outdoor bar counters | A* Pro* |
| Check Cashing Stores | P*, Pro* |
| Convenience Stores | P*, Pro* |
| Occult Science Establishment | P*, Pro* |
| Souvenir and T-shirt Shops | P*, Pro* |
| Liquor Stores | P*, C* , Pro* |
| Health club | P |
| Tattoo Studios | P*, Pro* |
| Gambling and Casinos pursuant to section 7.1.8 | Pro |
| Rentals or leases of mopeds, motorcycles, and motorized bicycles pursuant to section 7.1.8 | Pro |
| Neighborhood and Retail Fulfillment Centers pursuant to section 7.1.8 | Pro |
| CIVIC | |
| Religious Institutions with occupancy of 199 persons or less | P |
| Religious Institutions with occupancy over 199 persons | C |
| CIVIL SUPPORT | |
| Public and Private Institutions | C |
| EDUCATIONAL | |
| Schools | C P* |
| Family day care facility | A* |
| INDUSTRIAL | |
| OTHER | |
| Storage and/or parking of commercial vehicles | C |
| Any use selling gasoline | C |
| Self-Storage Warehouse | C* |
| Main Use Parking Garage | P*, C* |
| Neighborhood Impact Structure | C |
| Parking lots or garages when a main use | P*, Pro* |
| Key P – Main Permitted Use C - Conditional Use A - Accessory Use Pro - Prohibited Use *See Supplemental Use Regulations below | |
Applications for a vested rights determination shall be made in writing and filed with the city manager, city attorney, and city clerk.
a. The development regulations in the CD-2 commercial, medium intensity district are as follows:
| DEVELOPMENT REGULATIONS TABLE (CD-2) | |
|---|---|
| Maximum FAR | 1.5 (5) |
Mixed Use Buildings (When more than 25 percent (25%) of the total area of a building is used for residential) | 2.0 (5) |
| Maximum Density (Dwelling Units Per Acre) | 100 DUA (80% bonus for workforce or affordable units) |
| MINIMUM UNIT SIZE (SQUARE FEET) | |
| Apartments/Multi-family Units | |
New Construction | 550 SF |
Non-elderly and elderly low and moderate income housing | 400 SF |
Workforce Housing | 400 SF |
Rehabilitated Buildings | 400 SF |
| Lodging and Hotel Units | 335 SF + (6) |
For hotel structures located within the Collins Park District, generally bounded by the erosion control line on the east, the east side of Washington Avenue on the west, 23rd Street on the north, and 17th Street on the south (MAP EXHIBIT-7) | 335 SF |
Hotel units within rooftop additions to contributing structures in a historic district and individually designated historic buildings | 335 SF |
| MINIMUM AVERAGE UNIT SIZE (SQUARE FEET) | |
| Apartments/Multi-family Units | |
New Construction | 800 SF (7) (8)(9) |
Non-elderly and elderly low and moderate income housing | 400 SF (7) (8)(9) |
Workforce Housing | 400 SF (7) (8)(9) |
Rehabilitated Buildings | 550 SF (7) (8)(9) |
| Lodging and Hotel Units | N/A |
| LOT OCCUPATION | |
| Minimum Lot Area (square feet) | None |
| Minimum Lot Width (feet) | None |
| Maximum Lot Coverage (% of lot area) | N/A |
| BUILDING SETBACKS | |
| Front Setback Ⓐ | |
Subterranean | 0 feet (See section 7.1.2.2) 5 feet (Self-Storage Warehouse) |
Pedestal | |
Tower | |
| Side, Facing a Street Setback Ⓑ | |
Subterranean | 0 feet (See section 7.1.2.2) 10 feet (when abutting a residential district, separated by a street or waterway) 5 feet (Self Storage Warehouse) |
Pedestal | |
Tower | |
| Side, Interior Setback Ⓒ | |
Subterranean | 0 feet (4) 10 feet (when abutting a residential district) (4) 7.5 feet or 8 percent (8%) of the lot width, whichever is greater (Self-Storage Warehouse) |
Pedestal | |
Tower | |
| Rear Setback Ⓓ | |
Subterranean | 5 feet (4) 10 feet (when abutting a residential district) (4) 0 feet (abutting a residential district separated by a street or waterway (4) 25 feet (Self-storage Warehouse (for lots with a rear property line abutting a residential district)) 7.5 feet (Self-storage Warehouse (for lots with a rear property line abutting an alley)) |
Pedestal | |
Tower | |
| |
| BUILDING HEIGHT | |
| Maximum Height Ⓔ | 50 feet (1) (2) |
Self Storage Warehouse | 40 feet (3) |
Mixed-use and commercial buildings that include structured parking for properties on the west side of Alton Road from 6th Street to Collins Canal (MAP EXHIBIT-6) | 60 feet (6) (2) |
| |
| |
b. Regulations for New Construction
| DEVELOPMENT REGULATIONS TABLE (WASHINGTON AVE - CD-2) | |
|---|---|
| Maximum FAR | 1.5 |
| Maximum Density (Dwelling Units Per Acre) | 100 DUA |
| Minimum and minimum average Unit Size (square feet) | See section 7.2.11.3.a |
| Supplemental Minimum Unit Size | See section 7.2.11.5.c. below. |
| LOT OCCUPATION | |
| Minimum Lot Area (square feet) | None |
| Minimum Lot Width (feet) | None |
| Maximum Lot Coverage (% of lot area) | None |
| BUILDING SETBACKS | Lots with frontage equal or less than 100 feet (Pursuant to section 7.2.11.3.a) |
| BUILDING SETBACKS | Lots with frontage greater than 100 feet |
| Front Setback Ⓐ | |
Subterranean | 0 feet |
Ground Level | 0 feet (See section 7.1.2.2) |
Above the ground level up to 35 feet in height | 5 feet min (for parking garages with liners) 10 feet min (for parking garages without liners) 15 feet min (for all other uses) |
Above 35 feet in height up to 75 feet | 5 feet min (for parking garages with liners) 10 feet min (for parking garages without liners) 30 feet min (for all other uses) |
| Above 75 feet in height | 110 feet |
| Side, Facing a Street Setback Ⓑ | |
Subterranean | 0 feet |
Nonresidential Uses | 0 feet (See section 7.1.2.2) |
Residential and Hotel Uses | 7.5 feet (See section 7.1.2.2) |
| Above 75 feet in height for all uses | 45 feet |
| Side, Interior Setback Ⓒ | |
Subterranean | 0 feet |
Nonresidential Uses | 0 feet |
Residential and Hotel Uses | 7.5 feet or 8% of lot width (whichever is greater, up to 10 feet) 7.5 feet (when abutting a nonresidential or non-hotel use) |
| Above 75 feet for all uses | 45 feet |
| Rear Setback Ⓓ | |
Subterranean | 0 feet |
Ground Level | 0 feet |
Above the Ground Level | 10 % of lot depth 0 feet (for parking garage floors above the minimum truck clearance) |
| |
| BUILDING HEIGHT | |
| Maximum Height Ⓔ | 55 feet (unless otherwise specified in section 7.2.11.5.c below) |
Lots that have frontage equal to or greater than 200 feet | 75 feet |
Main Parking Garages | 55 feet (Regardless of frontage) |
| |
| DEVELOPMENT REGULATIONS TABLE (WOLFSONIAN ARTS DISTRICT - CD-2) | |
|---|---|
| Maximum FAR | 3.25 (for the following properties located on the east side of Washington Avenue: Lots 9, 10, 11, 12, and 13, within Block 30, of the plat of Ocean Beach Addition No. 2, recorded in Plat Book 2, Page 56, of the Public Records of Miami-Dade County) |
| Maximum Density (Dwelling Units Per Acre) | 100 DUA |
| Minimum and minimum average Unit Size (square feet) | See section 7.2.11.3.a |
| LOT OCCUPATION | |
| Minimum Lot Area (square feet) | None |
| Minimum Lot Width (feet) | None |
| Maximum Lot Coverage (% of lot area) | N/A |
| BUILDING SETBACKS | |
| Front Setback | |
Subterranean | 0 feet |
Pedestal | 0 feet |
Tower | 0 feet |
| Side, Facing a Street Setback | |
Subterranean | 0 feet |
Pedestal | 0 feet |
Tower | 0 feet |
| Side, Interior Setback | |
Subterranean | 0 feet |
Pedestal | 0 feet |
Tower | 0 feet |
| Rear Setback | |
Subterranean | 0 feet |
Pedestal | 0 feet |
Tower | 0 feet |
| |
| BUILDING HEIGHT | |
| Maximum Height | 75 feet |
| |
| DEVELOPMENT REGULATIONS TABLE (ALTON ROAD GATEWAY AREA - CD-2) | |
|---|---|
| Maximum FAR | 1.5 (2) |
Mixed Use Buildings (When more than 25 percent (25%) of the total area of a building is used for residential or hotel units ) | 2.0 |
| Maximum Density (Dwelling Units Per Acre) | 100 DUA |
| Minimum and minimum average Unit Size (square feet) | See section 7.2.11.3.a |
| LOT OCCUPATION | |
| Minimum Lot Area (square feet) | None |
| Minimum Lot Width (feet) | None |
| Maximum Lot Coverage (% of lot area) | None |
| BUILDING SETBACKS | |
| Front Setback | |
Alton Road | 10 feet 0 feet (for elevated open walkways) |
West Avenue | 20 feet 0 feet (for elevated open walkways) |
5th Street / Mac Arthur Causeway | 17 feet 0 feet (for elevated open walkways) |
| Side, Facing a Street Setback | |
Subterranean | 0 feet 10 feet (when abutting a residential district, separated by a street or waterway) 5 feet (Self Storage Warehouse) |
Pedestal | |
Tower | |
| Side, Interior Setback | |
Subterranean | 0 feet (3) 10 feet (when abutting a residential district) (3) 7.5 feet or 8 percent (8%) of the lot width, whichever is greater (Self-Storage Warehouse) |
Pedestal | |
Tower | |
| Rear Setback | |
Subterranean | 5 feet (3) 10 feet (when abutting a residential district) (3) 0 feet (abutting a residential district separated by a street or waterway (3) 25 feet (Self-storage Warehouse (for lots with a rear property line abutting a residential district)) 7.5 feet (Self-storage Warehouse (for lots with a rear property line abutting an alley)) |
Pedestal | |
Tower | |
| |
| BUILDING HEIGHT | |
| Maximum Height | |
Main Use Residential | 60 feet (1) |
Non-Residential | 40 feet (1) |
(1) Height shall be measured from the base flood elevation, plus freeboard, provided that the height of the first floor shall be tall enough to allow the first floor to eventually be elevated to base flood elevation, plus freeboard, with a future minimum interior height of at least 14 feet as measured from the height of the future elevated adjacent right-of-way as provided under the city's public works manual. (2) Notwithstanding the above regulations, the maximum floor area ratio (FAR) for self-storage warehouses shall be 1.5. The floor area ratio provision for mixed use buildings on this table shall not apply to self-storage warehouse development. (3) Notwithstanding the foregoing, rooftop additions to contributing structures in a historic district and individually designated historic buildings may follow existing nonconforming side and rear pedestal setbacks. | |
| DEVELOPMENT REGULATIONS TABLE (ALTON ROAD HISTORIC DISTRICT BUFFER OVERLAY – CD-2) | |
|---|---|
| Maximum FAR | 1.5 (2) |
Mixed Use Buildings (When more than 25 percent (25%) of the total area of a building is used for residential or hotel units) | 2.0 |
| Maximum Density (Dwelling Units Per Acre) | 100 DUA |
| Minimum and minimum average Unit Size (square feet) | See section 7.2.11.3.a |
| LOT OCCUPATION | |
| Minimum Lot Area (square feet) | None |
| Minimum Lot Width (feet) | None |
| Maximum Lot Coverage (% of lot area) | N/A |
| BUILDING SETBACKS | |
| Front Setback | 5 feet (1) (See section 7.1.2.2) |
| Side, Facing a Street Setback | 5 feet (1) (See section 7.1.2.2) |
| Side, Interior Setback | 0 feet (1) |
| Rear Setback | 7.5 feet (1) |
For lots with a rear property line abutting an RM-1 or an RS-4 district | 25 feet (1) |
for lots with a rear property line abutting an alley (Lenox Court) | 5 feet (1) |
| |
| BUILDING HEIGHT | |
| Maximum Height | 50 feet (3) |
Within 40 feet from the rear property line for lots abutting and alley (Lenox Court) | 28 feet (3) |
Within 60 feet from the RM-1 district for blocks with no alley, between 8th Street and 11th Street. | 28 feet (3) |
| |
(1) There shall be no variances for building setbacks, except for triangular lots. (2) Notwithstanding the above regulations, the maximum floor area ratio (FAR) for self-storage warehouses shall be 1.5. The floor area ratio provision for mixed use buildings on this table shall not apply to self-storage warehouse development. (3) No variances for building height allowed. | |
The CD-3 commercial, high intensity district is designed to accommodate a highly concentrated business core in which activities serving the entire city are located.
| USES TABLE (CD-3) | |
|---|---|
| RESIDENTIAL | |
| Apartments | P |
| LODGING | |
| Apartment Hotels | P |
| Hotels | P* |
| Hostels | P* |
| Suite Hotels | P* |
| OFFICE | |
| Offices | P* Pro A* |
| COMMERCIAL | |
| Commercial uses | P |
| Kennel | P |
| Alcoholic beverage establishments | P* C* A* |
| Dance halls | P*, C |
| Outdoor entertainment establishment | C |
| Open air entertainment establishment | C |
| Pawnshops | Pro |
| Accessory outdoor bar counters | A * , Pro* |
| Health club | P |
| Neighborhood impact establishment | C |
| Artisanal retail for on-site sales only | P*, C* |
| Furniture sales establishments larger than 45,000 SF | P* |
| Secondhand dealers of precious metals/precious metals dealers | Pro |
| Tobacco/vape dealers | P*, Pro* |
| Check cashing stores | P*, Pro * |
| Medical cannabis dispensaries | P*, Pro * |
| Convenience stores | P*, Pro* |
| Grocery stores | P*, Pro* |
| Occult science establishments | P*, Pro* |
| Pharmacy stores | Pro* |
| Souvenir and t-shirt shops | P*, Pro* |
| Tattoo studios | P*, Pro* |
Gambling and casinos pursuant to section 7.1.8 | Pro |
| Rentals or leases of mopeds, motorcycles, and motorized bicycles pursuant to section 7.1.8 | Pro |
| Neighborhood and Retail Fulfillment Centers pursuant to section 7.1.8 | Pro |
| CIVIC | |
| Religious Institutions with occupancy of 199 persons or less | P* |
| Religious Institutions with occupancy greater than 199 persons. | C |
| Major cultural institutions | P* |
| CIVIL SUPPORT | |
| Public and private institutions | C |
| EDUCATIONAL | |
| Schools | C P* |
| Major cultural dormitory facilities | C* |
| Family day care facilities | A* |
| INDUSTRIAL | |
| Production studios | P* |
| OTHER | |
| Storage and/or parking of commercial vehicles | P*, Pro* |
Key P –Main Permitted Use C – Conditional Use A – Accessory Use Pro – Prohibited Use *See Supplemental use regulations below | |
| DEVELOPMENT REGULATIONS TABLE (CD-3) | |
|---|---|
| Maximum FAR | |
Lot area equal to or less than 45,000 SF | 2.25 |
Lot area greater than 45,000 SF | 2.75 |
Lots located between Drexel Avenue and Collins Avenue and between 16th Street and 17th Street (MAP EXHIBIT-5) | 2.75 |
Residential and hotel development within the architectural district | 2.5 |
| Maximum Density (Dwelling Units per Acre) | 150 DUA (80% bonus for workforce or affordable units) |
| MINIMUM UNIT SIZE (SQUARE FEET) | |
| Apartments/Multi-family Units | |
New Construction | 550 SF |
Non-elderly and elderly low and moderate income housing | 400 SF |
Workforce Housing | 400 SF |
Rehabilitated Buildings | 400 SF |
| Lodging and Hotel Units | 335 SF + (4) |
For hotel structures located within the Collins Park District, generally bounded by the erosion control line on the east, the east side of Washington Avenue on the west, 23rd Street on the north, and 17th Street on the south (MAP EXHIBIT-12) | 335 SF |
For new hotel units within attached or detached additions to contributing buildings on the north side of Lincoln Road, between Pennsylvania Avenue and Lenox Avenue (MAP EXHIBIT-13), with at least 5 percent (5%) of the total floor area dedicated to amenity space | 335 SF |
Hotel units within rooftop additions to contributing structures in a historic district and individually designated historic buildings | 335 SF |
| MINIMUM AVERAGE UNIT SIZE (SQUARE FEET) | |
| Apartments/Multi-family Units | |
New Construction | 800 SF (5) (6)(7) |
Non-elderly and elderly low and moderate income housing | 400 SF (5) (6)(7) |
Workforce Housing | 400 SF (5) (6)(7) |
Rehabilitated Buildings | 550 SF (5) (6)(7) |
| Lodging and Hotel Units | N/A |
| LOT OCCUPATION | |
| Minimum Lot Area (square feet) | None |
| Minimum Lot Width (feet) | None |
| Maximum Lot Coverage (% of lot area) | None |
| BUILDING SETBACKS | |
| Front Setback Ⓐ | |
Subterranean | 0 feet (See section 7.1.2.2) |
Pedestal | |
Tower | |
| Side, Facing a Street Setback Ⓑ | |
Subterranean | 0 feet (See section 7.1.2.2) 10 feet - when abutting a residential district not separated by a street or waterway |
Pedestal | |
Tower | |
| Side, Interior Setback Ⓒ | |
Subterranean | 0 feet 10 feet -when abutting a residential district. (1) |
Pedestal | |
Tower | |
| Rear Setback Ⓓ | |
Subterranean | 5 feet (1) 10 feet - when abutting a residential district not separated by a street or waterway (1) 0 feet - when abutting a residential district separated by a street or waterway (1) |
Pedestal | |
Tower | |
| |
| BUILDING HEIGHT | |
| Maximum Height Ⓔ | 75 feet (3) |
Lots on the north side of Lincoln Road between Pennsylvania Avenue and Lenox Avenue, with a minimum lot area of 30,000 square feet, and which contain a contributing building and an attached addition providing a minimum of 100 hotel units, where the addition is set back at least 75 feet from the Lincoln Road property line, and has a street side setback of no less than 25 feet | 75 feet (2) (3) |
Lots within the architectural district. (MAP EXHIBIT-6) | 50 feet (3) |
Lots fronting on 17th Street (MAP EXHIBIT-7) | 80 feet (3) |
Lots fronting Washington Avenue between Lincoln Road and 17th Street for main use office building | 80 feet (3) |
City Center Area (bounded by Drexel Avenue, 16th Street, Collins Avenue and the south property line of those lots fronting on the south side of Lincoln Road) (MAP EXHIBIT-8) | 100 feet (3) |
Lots fronting on Lincoln Road and 16th Street between Drexel Avenue and Washington Avenue (MAP EXHIBIT-9) | 50 feet for the first 50 feet of lot depth. (3) |
Lots fronting on Drexel Avenue (MAP EXHIBIT-10) | 50 feet for the first 25 feet of lot depth. (except as provided in section 7.5.2) (3) |
| |
| |
b. Regulations for new construction
In the CD-3 district, all floors of a building containing parking spaces shall comply with section 7.1.6.
The MXE mixed use entertainment district is designed to encourage the substantial restoration of existing structures and allow for new construction.
| USES TABLE (MXE) | |
|---|---|
| RESIDENTIAL | |
| Apartments | P |
| LODGING | |
| Apartment Hotels | P* |
| Hotels | P* |
| Hostels | P* |
| Suite Hotels | P* |
| OFFICE | |
| Office | A* |
| Medical and Dental Offices | Pro* |
| COMMERCIAL | |
| Commercial Uses | A*, P* |
| Commercial Development | A*, P* |
| Outdoor Entertainment Establishment | C |
| Open Air Entertainment Establishment | C |
| Accessory outdoor bar counters | A*, Pro* |
| Ballroom | C |
| Uses that serve alcoholic beverages | A* |
| Artisanal Retail | C* |
| Neighborhood Impact Establishment | C |
| Liquor Store | Pro |
| Gambling and Casinos pursuant to section 7.1.8 | Pro |
| Rentals or leases of mopeds, motorcycles, and motorized bicycles pursuant to section 7.1.8 | Pro |
| Neighborhood and Retail Fulfillment Centers pursuant to section 7.1.8 | Pro |
| CIVIC | |
| Religious Institutions with occupancy of 199 persons or less | P |
| Religious Institutions with occupancy greater than 199 | C |
| CIVIL SUPPORT | |
| Public and private cultural institutions | C |
| EDUCATIONAL | |
| INDUSTRIAL | |
| OTHER | |
| Major cultural dormitory facilities | C |
| Neighborhood Impact Structures | C |
| Parking lots or garages when a main permitted use | Pro* |
Key P – Main Permitted Use C - Conditional Use A - Accessory Use Pro - Prohibited Use *See Supplemental use regulations below | |
a. The development regulations in the MXE mixed use entertainment district are as follows:
| DEVELOPMENT REGULATIONS TABLE (MXE) | ||
|---|---|---|
| Maximum FAR | 2.0 | |
Convention hotel development | 3.5 | |
| Maximum Density (Dwelling Units per Acre) | 100 DUA (80% bonus for workforce or affordable units) | |
| MINIMUM UNIT SIZE (SQUARE FEET) | ||
| Apartments/Multi-family Units | ||
New Construction | 500 SF | |
Non-elderly and elderly low and moderate income housing | 400 SF | |
Workforce Housing | 400 SF | |
Rehabilitated Buildings | 400 SF | |
| Lodging and Hotel Units | 335 SF + | |
Hotel Units (in a local historic district/site) | 200 SF | |
Hotel Units within rooftop additions or within ground level additions to contributing structures in a historic district and individually designated historic buildings | 335 SF | |
| MINIMUM AVERAGE UNIT SIZE (SQUARE FEET) | ||
| Apartments/Multi-family Units | ||
New Construction | 800 SF (5) (6)(7) | |
Non-elderly and elderly low and moderate income housing | 400 SF (5) (6)(7) | |
Workforce Housing | 400 SF (5) (6)(7) | |
Rehabilitated Buildings (Existing Structures) | 550 SF (5) (6)(7) | |
| Lodging and Hotel Units | N/A | |
| LOT OCCUPATION | ||
| Minimum Lot Area (square feet) | N/A | |
| Minimum Lot Width (feet) | N/A | |
| Maximum Lot Coverage (% of lot area) | N/A | |
| BUILDING SETBACKS | ||
| Front Setback Ⓐ | Oceanfront | Non-Oceanfront |
Subterranean | N/A | N/A |
Pedestal | 50 feet (3) | 10 feet |
Lots 100 feet in width or greater | N/A | 20 feet |
Tower | ||
| Front Setback Ⓐ Lots 100 ft in width or greater with a ten-foot-deep coveredterrace running substantially the full width of the building front. | Oceanfront | Non-Oceanfront |
Pedestal | N/A | 5 feet (4) Furthermore, the front setback shall be extended to include at least one forecourt, open to the sky, with a minimum width of 10 feet and a minimum area of 3 square feet for every linear foot of lot frontage. |
Tower | 110 feet (4) | |
| Side, Facing a Street Setback Ⓑ | Oceanfront | Non-Oceanfront |
Subterranean | N/A | N/A |
Pedestal | 15 % of the lot width + 5 feet (4) | 10 % of the lot width + 5 feet, not to exceed 25 feet. (4) |
Lots less than 100 feet in width | 5 feet (4) | |
Tower | 25 % of the lot width + 5 feet. (4) | |
Lots less than 100 ft in width | 45 feet (4) | |
| Side, Facing a Street Setback Ⓑ Lots 100 feet in width or greater with a ten foot-deep terrace running substantially the full side length of the building, with a minimum floor-toceiling height of 12 feet | Oceanfront | Non-Oceanfront |
Pedestal | N/A | 5 feet (4) Furthermore, the setback shall be extended to include at least one forecourt, open to the sky, with a minimum of 1,000 square feet and a minimum average depth of 20 feet. The long edge of the forecourt shall be along the side property line. The area of the forecourt shall be increased by an additional 50 square feet for every one foot of building height above 30 feet as measured from grade. |
Tower | 45 feet (4) | |
| Side, Interior Setback Ⓒ | Oceanfront | Non-Oceanfront |
Subterranean | N/A | N/A |
Pedestal | 15 % of the lot width (4) | 5 feet (4) |
Tower | 7.5 feet (4) 25 feet (Architectural District) (4) | |
| Rear Setback Ⓓ | Oceanfront | Non-Oceanfront |
Subterranean | N/A | N/A |
Pedestal | 25 percent (25%) of the lot depth or 75 feet minimum from the bulkhead line, whichever is greater (4) | 10 feet (4) 10 feet (In Architectural District if abutting and alley) (4) |
Tower | ||
|
| |
| BUILDING HEIGHT | Oceanfront | Non-Oceanfront |
| Maximum Heigh Ⓔ | 75 feet (1) (2) | |
Architectural District (Oceanfront) | 150 feet (2) | |
Architectural District (NonOceanfront) | 50 feet (1) (2) | |
|
| |
| ||
b. Regulations for new construction. (MXE)
In the MXE district, all floors of a building containing parking spaces shall comply with section 7.1.6.
c. Lot aggregation. (MXE)
No more than two (2) contiguous platted lots may be aggregated for development purposes.
| USES TABLE (TC-1, TC-2) | |
|---|---|
| RESIDENTIAL | |
| Apartments | P* |
| LODGING | |
| Apartment Hotels | P* |
| Hotels | P* |
| OFFICE | |
| COMMERCIAL | |
| Commercial uses | P |
| Kennel | P* |
| Alcoholic beverage establishments | P* A Pro |
| Outdoor entertainment establishment | C |
| Open air entertainment establishment | C |
| Entertainment establishment | C* A* |
| Pawnshops | Pro |
| Accessory outdoor bar counters | A* |
| Gambling and casinos pursuant to section 7.1.8 | Pro |
| Rentals or leases of mopeds, motorcycles, and motorized bicycles pursuant to section 7.1.8 | Pro |
| Neighborhood and Retail Fulfillment Centers pursuant to section 7.1.8 | Pro |
| CIVIC | |
| Religious institution | C |
| CIVIL SUPPORT | |
| Public and private institutions | C |
| EDUCATIONAL | |
| Schools | C P* |
| Major cultural dormitory facilities | C* |
| INDUSTRIAL | |
| OTHER | |
| Neighborhood Impact Structure | C* |
| Neighborhood Impact Establishment | C |
| Key P – Main Permitted Use C - Conditional Use A - Accessory Use Pro - Prohibited Use * See Supplemental Use Regulations below | |
| USES TABLE (TC-3) | |
|---|---|
| RESIDENTIAL | |
| Single family detached dwelling | P |
| Townhomes | P |
| Apartments | P |
| LODGING | |
| Apartment hotels | C* |
| Hotels | C* |
| Suite hotels | C* |
| Hostels | Pro |
| OFFICE | |
| Offices | P |
| COMMERCIAL | |
| Commercial uses | |
| Neighborhood oriented retail and services uses | C* |
| Alcoholic beverage establishments | Pro* |
| Accessory outdoor entertainment establishment | Pro |
| Accessory open air entertainment establishment | Pro |
| Entertainment establishment | Pro |
| Accessory dance halls | Pro |
| Accessory entertainment establishment | Pro |
| Accessory outdoor bar counters | Pro |
| Gambling and casinos pursuant to section 7.1.8 | Pro |
| Rentals or leases of mopeds, motorcycles, and motorized bicycles pursuant to section 7.1.8 | Pro |
| Neighborhood and Retail Fulfillment Centers pursuant to section 7.1.8 | Pro |
| CIVIC | |
| Religious institution | C |
| CIVIL SUPPORT | |
| Public and private institutions | C |
| Accessory neighborhood impact establishment | Pro |
| Adult congregate living facility | C |
| Nursing home | C |
| EDUCATIONAL | |
| Day care facility | C |
| Schools | C P* |
| INDUSTRIAL | |
| OTHER | |
| Commercial or noncommercial parking lots and garages (with accessory commercial uses) | C* |
| Key P – Main Permitted Use C - Conditional Use A - Accessory Use Pro - Prohibited Use *See Supplemental Use Regulations below | |
| DEVELOPMENT REGULATIONS TABLE (TC-1 TOWN CENTER CORE) | |
|---|---|
| Maximum FAR | 2.25 - For lots equal to or less than 45,000 square feet 2.75 - For lots greater than 45,000 square feet. |
| Maximum Density (Dwelling Units per Acre) | 150 DUA (80% bonus for workforce or affordable units) |
| MINIMUM UNIT SIZE (SQUARE FEET) | |
| Apartments/Multi-family Units | |
New Construction | 550 SF |
Non-elderly and elderly low and moderate income housing | 400 SF |
Workforce Housing | 400 SF |
Rehabilitated Buildings | 550 SF |
| Lodging and Hotel Units | 335 SF + |
| MINIMUM AVERAGE UNIT SIZE (SQUARE FEET) | |
| Apartments/Multi-family Units | |
New Construction | 550 SF (2) (3)(4) |
Non-elderly and elderly low and moderate income housing | 400 SF (2) (3)(4) |
Workforce Housing | 400 SF (2) (3)(4) |
Rehabilitated Buildings | 550 SF (2) (3)(4) |
| Lodging and Hotel Units | N/A |
| LOT OCCUPATION | |
| Minimum Lot Area (square feet) | None |
| Minimum Lot Width (feet) | None |
| BUILDING SETBACKS | |
| Front Setback (feet) Along 71st Street Ⓐ | |
Subterranean | 10 feet |
Pedestal (first 4 stories) | |
Tower (above 4th story) | 25 feet |
| Side, Facing a Street, Setback (feet) Ⓑ | |
Subterranean | 5 feet |
Pedestal | |
Tower | |
| Side, Interior Setback (feet) Ⓒ | |
Subterranean | 0 feet 10 feet when abutting a TC-3 district or a future alley designated on the infill regulating plan |
Pedestal | |
Tower | |
| Rear Setback (feet) Ⓓ | |
Subterranean | 10 feet 0 feet abutting an alley or where there is a side lot line abutting 71st Street (1) |
Pedestal | |
Tower | |
| |
| BUILDING HEIGHT | |
| Maximum Height Ⓔ | 125 feet |
| |
| |
| DEVELOPMENT REGULATIONS TABLE (TC-2 TOWN CENTER MIXED-USE) | |
|---|---|
| Maximum FAR | 1.5 |
Mixed-Use Buildings (where more than 25 percent (25%) of the total area of a building is used for residential or hotel units) | 2.0 |
| Maximum Density (Dwelling Units per Acre) | 100 DUA (80% bonus for workforce or affordable units) |
| MINIMUM UNIT SIZE (SQUARE FEET) | |
| Apartments/Multi-family Units | |
New Construction | 550 SF |
Non-elderly and elderly low and moderate income housing | 400 SF |
Workforce Housing | 400 SF |
Rehabilitated Buildings | 550 SF |
| Lodging and Hotel Units | 335 SF + |
| MINIMUM AVERAGE UNIT SIZE (SQUARE FEET) | |
| Apartments/Multi-family Units | |
New Construction | 800 SF (2) (3)(4) |
Non-elderly and elderly low and moderate income housing | 400 SF (2) (3)(4) |
Workforce Housing | 400 SF (2) (3)(4) |
Rehabilitated Buildings | 800 SF (2) (3)(4) |
| Lodging and Hotel Units | N/A |
| LOT OCCUPATION | |
| Minimum Lot Area (square feet) | 6,250 SF - Residential |
| Minimum Lot Width (feet) | 50 feet - Residential |
| BUILDING SETBACKS (3) | |
| Front Setback Ⓐ | |
Subterranean | 15 feet |
Pedestal | |
Tower | |
| Side, Facing a Street, Setback Ⓑ | |
Subterranean | 5 feet |
Pedestal | |
Tower | |
| Side, Interior Setback Ⓒ | |
Subterranean | 0 feet 10 feet (when abutting a TC-3 district or a future alley designated on the infill regulating plan) |
Pedestal | |
Tower | |
| Rear Setback Ⓓ | |
Subterranean | 10 feet 0 feet (abutting an alley or where there is a side lot line abutting 71st Street (1) |
Pedestal | |
Tower | |
| |
| BUILDING HEIGHT | |
| Maximum Height Ⓔ | 50 feet |
| |
| |
| DEVELOPMENT REGULATIONS TABLE (TC-3 TOWN CENTER RESIDENTIAL OFFICE) | |
|---|---|
| Maximum FAR | 1.25 |
| Maximum Density (Dwelling Units per Acre) | 60 DUA (80% bonus for workforce or affordable units) |
| MINIMUM UNIT SIZE (SQUARE FEET) | |
| Apartments/Multi-family Units | |
New Construction | 550 SF |
Non-elderly and elderly low and moderate income housing | 400 SF |
Workforce Housing | 400 SF |
Rehabilitated Buildings | 400 SF |
| Lodging and Hotel Units | 335 SF + |
| MINIMUM AVERAGE UNIT SIZE (SQUARE FEET) | |
| Apartments/Multi-family Units | |
New Construction | 550 SF (1) (2)(3) |
Non-elderly and elderly low and moderate income housing | 400 SF (1) (2)(3) |
Workforce Housing | 400 SF (1) (2)(3) |
Rehabilitated Buildings | No Minimum |
| Lodging and Hotel Units | N/A |
| LOT OCCUPATION | |
| Minimum Lot Area (square feet) | N/A |
| Minimum Lot Width | N/A |
| BUILDING SETBACKS | |
| Front Setback Ⓐ | |
Subterranean | 15 feet |
Pedestal (not to exceed 23 feet in height to the top of the roof deck) | |
Tower | 15 feet + 1 foot for every 1 foot in height above 23 feet |
| Side, Facing a Street, Setback Ⓑ | |
| Lots 50 ft wide or less | |
Subterranean | 7.5 feet |
Pedestal (not to exceed 23 feet in height to the top of the roof deck) | |
Tower | 7.5 feet + 1 foot for every 1 foot in height above 23 feet |
| Lots greater than 50 feet wide | |
Subterranean | 10 feet |
Pedestal (not to exceed 23 feet in height to the top of the roof deck) | |
Tower | 10 feet + 1 foot for every 1 foot in height above 23 feet |
| Side, Interior Setback Ⓒ | |
Subterranean | 7.5 feet 10 feet (for lots abutting a TC-1 district) |
Pedestal (up to 33 feet in height) | |
Tower (33 feet or more in height) | 10 feet |
| Rear Setback Ⓓ | |
Subterranean | 10 feet |
Pedestal (up to 33 feet in height) | |
Tower | 10 feet + 1 foot for every 1 foot above 33 feet |
| |
| BUILDING HEIGHT | |
| Maximum Height Ⓔ | 45 feet |
Waterfront Lots | 50 feet |
Parking Garages as Main Use | See section 5.3.10 |
| |
| |
| USES TABLE (TC-C) | |
|---|---|
| RESIDENTIAL | |
Single family detached dwelling | P |
| Apartments | P* |
| Townhomes | P* |
| Co-living | P* |
| Live-work | P* |
| LODGING | |
| Hotels | P* |
| Micro-hotel | Pro |
| OFFICE | |
| Restaurants | P |
| Outdoor Café | P |
| Outdoor Bar Counter | A |
| Artisanal retail with off-site sales | C |
| Outdoor entertainment establishment | C* |
| Open air entertainment establishment | C* |
| Self Storage Warehouse (in accordance with the requirements set forth in section 7.2.14.6.b.2.A.IX) | P |
| Pawnshop | Pro |
| Tobacco and vape dealers | Pro |
| Package liquor stores | Pro |
| Check cashing stores | Pro |
| Occult science establishment | Pro |
| Tattoo studios | Pro |
| Gambling and casinos pursuant to section 7.1.8 | Pro |
| Rentals or leases of mopeds, motorcycles, and motorized bicycles pursuant to section 7.1.8 | Pro |
| Offices | P |
| COMMERCIAL | |
| Commercial establishment over 25,000 SF | C |
| Retail establishment over 25,000 SF | C* |
| Retail | P |
| Alcoholic beverage establishments | P |
| Artisanal retail for on-site sales only | P |
| Grocery store | P |
| Kennel | P |
| Indoor entertainment establishment | P* |
| Neighborhood fulfillment center | P* |
| Retail Fulfillment Centers pursuant to section 7.1.8 | Pro |
| CIVIC | |
| Religious institution | C |
| CIVIL SUPPORT | |
| Public and private institutions | C |
| EDUCATIONAL | |
| Day care facility | C |
| Schools | C P* |
| INDUSTRIAL | |
| OTHER | |
| Neighborhood impact establishment | C* |
Key P – Main Permitted Use C - Conditional Use A - Accessory Use Pro - Prohibited Use *See Supplemental Use Regulations below | |
The following supplemental regulations shall apply to specific uses in the TC-C district:
There shall be no variances regarding the regulations for permitted, prohibited, accessory, exception, special exception, and conditional uses in section 7.2.14.6.b.1; and the supplemental regulations of such uses in section 7.2.14.6.b.2.
Apartment hotels, and hotels (pursuant to sections 2.7.2, which requires a Commission warrant, and 7.5.4.5).
Use limitations.
The following limits shall apply for residential and hotel uses:
Hotel rooms. There shall be a limit of 1,762 hotel units within the TC-C district.
Apartments. There shall be a limit of 500 apartment units built within the TC-C district over and above the maximum allowable density and intensity, prior to the adoption of the FAR increase approved on November 7, 2017. This limit shall not authorize exceeding the maximum density authorized within the adopted comprehensive plan.
Workforce and affordable housing and co-living units. There shall be a combined limit of 500 workforce housing, affordable housing, or co-living units built within the TC-C district over and above the maximum allowable density prior to the adoption of the FAR increase approved on November 7, 2017. However, a co-living unit that is less than 550 square feet shall count as half of a unit for the purposes of calculating the maximum number of units. This limit shall not authorize exceeding the maximum density authorized within the adopted comprehensive plan.
Co-living units. Notwithstanding the foregoing limitations, there shall be a limit of 529 coliving units built within the TC-C district. Additionally, co-living units shall only be permitted for projects that have obtained a building permit process number by October 1, 2023.
Units for the uses identified in sections 7.2.14.6.b.2.A.II.(1).i-iii above, shall be applied for and allocated on a first-come, first-served basis concurrent with the earlier of a completed application for land use board approval or completed application for building permit that includes the proposed number of units, and meets all applicable requirements of the land development regulations, as determined by the planning director. Any allocation of units pursuant to this subsection shall be subject to the following additional provisions:
In the event that a land use board application is not approved by the applicable board, or in the event that an applicant with an approved land use board order fails to obtain a building permit before the board order expires, all units allocated pursuant to the filing of the completed land use board application shall be released to the pool and shall become available to new applicants.
Upon the issuance of a building permit for units approved pursuant to a land use board order, the allocation of such units shall remain reserved. If the building permit or building permit application expires or is abandoned, any units allocated pursuant to the building permit application shall be released to the pool; and shall become available to new applicants. Prior to reactivating an expired or abandoned building permit or building permit application, an applicant shall first be required to obtain written confirmation from the planning department that sufficient units remain available.
If the use for which credits are allocated pursuant to a land use board order or building permit changes to a use that does not require an allocation of units, the allocation of units shall be released and shall become available to new applicants.
Units for the uses identified in section 7.2.14.6.b.2.A.II.(1).iv. above, shall be applied for and allocated on a first-come, first-served basis concurrent with a completed application for land use board approval that includes the proposed number of units, and meets all requirements of the land development regulations, as determined by the planning director. Any allocation of units pursuant to this subsection shall be subject to the following additional provisions:
In the event that a land use board application is not approved by the applicable board, or in the event that an applicant with an approved land use board order fails to obtain a building permit before the board order expires. all units allocated pursuant to the filing of the completed land use board application shall be released to the pool and shall become available to new applicants.
Upon the issuance of a building permit for units approved pursuant to a land use board order, the allocation of such units shall remain reserved. In the event that the building permit expires or is abandoned, any units allocated pursuant to the building permit shall be released to the pool, and shall become available to new applicants. Prior to reactivating an expired or abandoned building permit or building permit application, an applicant shall first be required to obtain written confirmation from the planning department that sufficient units remain available.
If the use for which credits are allocated pursuant to a land use board order changes to a use that does not require an allocation of units. the allocation of units shall be released and shall become available to new applicants.
Any such units permitted the boundaries of the TC-C district, after November 7, 2017 shall be counted towards the maximum limit established herein.
Notwithstanding the use limitations in sections 7.2.14.6.b.2.A.II.(1).i-iii. above, the planning director or designee may permit simultaneous increase and decreases in the above described uses, provided that the impacts of the changes will not exceed originally approved impacts, as measured by total weekday peak hour (of adjacent street traffic, one hour between 4:00 p.m. and 6:00 p.m.) vehicle trips, pursuant to the Institute of Transportation Engineers Trip Generation Manual, as may be amended from time to time.
There shall be a limit of two retail establishments over 25,000 square feet within the TC-C district. Credits for such retail establishments shall be allocated on a first-come, first serve basis as part of an application for land use board approval, building permit, or business tax receipt, whichever comes first. If said approval, permit, or receipt expires and the establishment is not built or ceases operations, the credits shall become available to new applicants. Any such establishment permitted in the area of the TC-C district, after November 7, 2017, shall be counted towards the maximum limit established herein.
There shall be a limit of two neighborhood fulfillment centers within the TC-C district. Credits for such establishments shall be allocated on a first-come, first serve basis as part of an application for land use board approval, building permit, or business tax receipt, whichever comes first. If said approval, permit, or receipt expires and the establishment is not built or ceases operations, the credits shall become available to new applicants. Any such establishment permitted in the area of the TC-C district, after November 7, 2017, shall be counted towards the maximum limit established herein.
For the purposes of the TC-C district, the definition for a neighborhood impact establishments established in section 1.2.2 is modified as follows:
"neighborhood impact establishment" means:
An alcoholic beverage establishment or restaurant, not also operating as an entertainment establishment or dance hall (as defined in section 1.2.2), with an area of 10,000 square feet or greater of areas accessible by patrons; or
An alcoholic beverage establishment or restaurant, which is also operating as an entertainment establishment or dance hall (as defined in section 1.2.2), with an area of 5,000 square feet or greater of areas accessible by patrons.
The primary means of pedestrian ingress and egress for alcoholic beverage establishments, entertainment establishments, neighborhood impact establishments, commercial establishment over 25,000 square feet, retail establishment over 25,000, or artisanal retail uses in the TC-C district shall not be permitted within 200 feet of an RM-1 district boundary. This shall not apply to emergency egress.
The following requirements shall apply to indoor entertainment establishments and outdoor and open air entertainment establishments:
Indoor entertainment establishments shall be required to install a double door vestibule at all access points, except for emergency exits.
Indoor entertainment shall cease operations no later than 5:00 a.m. and commence entertainment no earlier than 9:00 a.m.
Open air entertainment shall cease operations no later than 11:00 p.m. on Sunday through Thursday, and 12:00 a.m. on Friday and Saturday; operations shall commence no earlier than 9:00 a.m. on weekdays and 10:00 a.m. on weekends; however, the planning board may establish stricter requirements.
There shall be a maximum of ten alcoholic beverage establishments that are not also operating as a restaurant or entertainment establishment permitted within this zoning district. Credits for entertainment establishments shall be allocated on a first-come, first serve basis as part of an application for land use board approval, building permit, or business tax receipt, whichever comes first. If said approval, permit, or receipt expires and the entertainment establishment is not built or ceases operations, the credits shall become available to new applicants. Any entertainment establishment permitted in the area of the TC-C district, after November 7, 2017, shall be counted towards the maximum limit established herein.
Entertainment establishments shall also be restaurant supper clubs. Such restaurant supper clubs shall be open and able to serve food at a minimum between the hours of 10:00 a.m. and 2:00 p.m. on days in which the entertainment establishment will be open and additionally during hours in which entertainment occurs and/or alcohol is sold.
Entertainment uses shall be subject to the requirements in section 7.5.5.4.
Restaurants with sidewalk café permits or outdoor cafés shall comply with section 82-366 et seq. in the General Ordinances.
Self-storage warehouse use shall only be permitted in accordance with the following:
Only those properties containing an existing self-storage use as of January 1, 2022, shall be permitted to have self-storage as a use in addition to commercial, office, residential, or any combination thereof.
New development on eligible properties described above are only eligible to have a self-storage use if the property owner elects, at the owner's sole discretion, to voluntarily execute a restrictive covenant running with the land, in a form approved by the City Attorney, affirming that, for a term of a minimum of 30 years, none of the residential units on the property shall be leased or rented for a period of less than six months and one day.
Floor area used for self-storage (exclusive of storefront office use for the self--storage facility) shall not exceed 50% of the gross floor area of the building.
All self-storage uses (other than storefront office use for the self-storage facility) shall be located above the ground floor and shall be fully concealed from view at all levels along all street and sidewalk sides of the property.
Qualifying educational facilities shall be eligible for the School Use Incentives as identified in section 7.1.13 of these land development regulations.
Development Regulations (TC-C)
The development regulations for the Town Center Central Core District are as follows:
| DEVELOPMENT REGULATIONS TABLE (TC-C (TOWN CENTER CENTRAL CORE)) | ||
|---|---|---|
| Maximum FAR | 3.5 | |
| Maximum Density (Dwelling Units per Acre) | 150 DUA (80% bonus for workforce or affordable units) (4) (5) | |
| MINIMUM UNIT SIZE (SQUARE FEET) | ||
| Apartments/Multi-family Units | ||
New Construction | 550 SF | |
Non-elderly and elderly low and moderate income housing | 400 SF | |
Workforce Housing | 400 SF | |
Rehabilitated Buildings | 400 SF | |
Co-living Units | 375 SF with a minimum of 20% of the gross floor area of the building consisting of amenity space on the same site. (6) | |
| Lodging and Hotel Units | ||
Hotel Units | 335 SF | |
| Minimum Lot Area (square feet) | N/A | |
| Minimum Lot Width (feet) | N/A | |
| BUILDING SETBACKS | ||
| Front Setback (feet) Ⓐ 69th Street (Class B Street) | Min setback from property line | Allowable Habitable Encroachments into Setback |
Subterranean | 10 feet | 5 feet |
Pedestal (Grade to 55 feet) | ||
Tower (55 feet to max height) | 125 feet | 5 feet |
| Front Setback (feet) Ⓐ 70th Street Alley Line (Class D Street) | Min setback from property line | Allowable Habitable Encroachments into Setback |
Subterranean | 10 feet | 3 feet |
Pedestal (Grade to 55 feet) | ||
Tower (55 feet to max height) | ||
| Front Setback (feet) Ⓐ 71st Street (Class A Street) | Min setback from property line | Allowable Habitable Encroachments into Setback |
Subterranean | 10 feet | 0 feet |
Pedestal (Grade to 55 feet) | ||
Tower (55 feet to max height) | 25 feet | 5 feet |
| Front Setback (feet) Ⓐ 72nd Street (Class A Street) | Min setback from property line | Allowable Habitable Encroachments into Setback |
Subterranean | 20 feet from back of curb line; curb line location shall be at the time of permitting; however, it shall be no less than 5 feet from the property line | 5 feet |
Pedestal (Grade to 55 feet) | ||
Tower (55 feet to max height) | ||
| Front Setback (feet) Ⓐ Collins Avenue (Class A Street) | Min setback from property line | Allowable Habitable Encroachments into Setback |
Subterranean | 10 feet | 5 feet |
Pedestal (Grade to 55 feet) | ||
Tower (55 feet to 125 feet) | 20 feet | 5 feet |
Tower (125 feet to max height) | 35 feet | 5 feet |
| Front Setback (feet) Ⓐ Indian Creek Drive (Class A Street) | Min setback from property line | Allowable Habitable Encroachments into Setback |
Subterranean | 10 feet | 5 feet |
Pedestal (Grade to 55 feet) | ||
Tower (55 feet to max height) | ||
| Front Setback (feet) Ⓐ Abbot Avenue and Dickens Avenue (Class B Street) | Min setback from property line | Allowable Habitable Encroachments into Setback |
Subterranean | 10 feet | 5 feet |
Pedestal (Grade to 55 feet) | ||
Tower (55 feet to max height) | ||
| Side, Interior Setback (feet) Ⓒ | Min setback from property line | Allowable Habitable Encroachments into Setback |
| Lots greater than 110 feet wide | ||
Subterranean | 0 feet | 0 feet |
Pedestal (Grade to 55 feet) | ||
Tower (55 feet to max height) | 30 feet | 10 feet |
| Lots 110 feet wide or less | ||
Subterranean | 0 feet | 0 feet |
Pedestal (Grade to 75 feet) | ||
Tower (75 feet to max height) | 30 feet | 10 feet |
| Rear Setback (feet) Ⓓ | Min setback from property line | Allowable Habitable Encroachments into Setback |
Subterranean | 0 feet 5 feet (abutting an alley) | 0 feet |
Pedestal (Grade to 55 feet) | ||
Tower (55 feet to max height) | 30 feet 20 feet (abutting and alley) | 10 feet |
| ||
| BUILDING HEIGHT | ||
| Maximum Height Ⓔ | 125 feet (3) | |
| Public Benefits Program: | ||
For lots that are between 20,000 square feet and 45,000 square feet | 165 feet (1) (3) | |
For lots that are greater than 45,000 square feet | 200 feet (1) (3) | |
For lots that are greater than 50,000 square feet and located north of 71st | 220 feet (1) (2) (3) | |
| ||
| ||
| Certification Compliance Schedule | |
|---|---|
| Level of Certification Achieved | Sustainability Fee Reimbursement to Participant for Meeting Certain Green Building Certification Levels |
| Failure to obtain certification | Zero percent refund of bond or payment of sustainability fee |
| LEED certified | 30% refund of bond or payment of sustainability fee |
| LEED silver certified | 40% refund of bond or payment of sustainability fee |
| LEED gold certified or international living future institute petals or net zero energy certified | 60% refund of bond or payment of sustainability fee |
| LEED platinum or international living future institute living building challenge certified | 100% refund of bond or payment of sustainability fee |
| R-PS1 | Medium-Low Density |
| R-PS2 | Medium Density |
| R-PS3 | Medium-High Density |
| R-PS4 | High Density |
| USES TABLE (R-PS) | |||||
|---|---|---|---|---|---|
| R-PS 1, 2 | R-PS 3, 4 | ||||
| RESIDENTIAL | |||||
| Single-family | P | P | |||
| Townhome | P | P | |||
| Apartment | P | P | |||
| LODGING | |||||
| Apartment hotel pursuant to sections 2.7.2, which requires a Commission warrant, and 7.5.4.5 | Pro | P | |||
| Hotel pursuant to sections 2.7.2, which requires a Commission warrant, and 7.5.4.5 | Pro | P | |||
| Suite hotels pursuant to sections 2.7.2, which requires a Commission warrant, and 7.5.4.5 | Pro | P | |||
| Hostel pursuant to sections 2.7.2, which requires a Commission warrant, and 7.5.4.5 | Pro | Pro | |||
| OFFICE | |||||
| COMMERCIAL | |||||
| Commercial | Pro | Pro | |||
| Accessory outdoor bar counters, provided that the accessory outdoor bar counter is not operated or utilized between midnight and 8:00 a.m.; however, for an accessory outdoor bar counter which is located on a property that is abutting a property with an apartment unit, the accessory outdoor bar counter may not be operated or utilized between 8:00 p.m. and 8:00 a.m. | Pro | Pro | |||
| Entertainment establishments | Pro* | Pro* | |||
| Outdoor entertainment establishments | Pro | Pro | |||
| Open air entertainment establishments | Pro | Pro | |||
| Neighborhood Impact establishments | Pro | Pro However, in the R-PS4 district, this use is permitted, as an accessory use in oceanfront hotels with 250 or more hotel units, as a conditional use. Access to the establishment entrance shall be only from the interior lobby of the hotel and not from the street. In addition, in the R-PS4 district, this use is also permitted as an accessory use to an oceanfront apartment building with more than 300 units that is adjacent to a park, as a conditional use, provided that the accessory use is located in a separate building from the primary use, and the accessory use is a minimum of 8,000 square feet in size. | |||
| Alcoholic beverage establishments pursuant to the regulations set forth in chapter 6 of General Ordinances | Pro | A * | |||
| Pawnshop | Pro* | Pro* | |||
| Dance Hall | Pro* | Pro* | |||
| Accessory Restaurant or Bar that serve Alcohol | Pro | A* | |||
| Gambling and casinos pursuant to section 7.1.8 | Pro | Pro | |||
| Rentals or leases of mopeds, motorcycles, and motorized bicycles pursuant to section 7.1.8 | Pro | Pro | |||
| Neighborhood and Retail Fulfillment Centers pursuant to section 7.1.8 | Pro | Pro | |||
| CIVIC | |||||
| Religious Institutions with occupancy of 199 persons or less | P | P | |||
| Religious Institutions with occupancy of more than 199 persons | C | C | |||
| Institutional | C | C | |||
| CIVIL SUPPORT | |||||
| EDUCATIONAL | |||||
| Schools | C | ||||
| INDUSTRIAL | |||||
| Industrial Uses Pro Pro | |||||
| OTHER | |||||
| Commercial and Noncommercial Parking Lots and Garages | C | C | |||
| P—Main Permitted Use C—Conditional use A — Accessory use Pro—Prohibited Use * See Supplemental Uses Below | |||||
| DEVELOPMENT REGULATIONS TABLE (R-PS) | |||||
|---|---|---|---|---|---|
| R-PS1 | R-PS2 | R-PS3 | R-PS4 | ||
| Maximum FAR | 1.25 | 1.50 | 1.75 | 2.0 (8) | |
| Maximum Density (Dwelling Units per Acre) | 57 DUA (80% bonus for workforce or affordable units) | 70 DUA (80% bonus for workforce or affordable units) | 85 DUA (80% bonus for workforce or affordable units) | 102 DUA (80% bonus for workforce or affordable units) | |
| MINIMUM UNIT SIZES (SQUARE FEET) | R-PS1 | R-PS2 | R-PS3 | R-PS4 | |
| Apartments/Multi-family Units | |||||
New Construction | 700 SF | 650 SF | 600 SF | 550 SF | |
Non-elderly and elderly low and moderate income housing | 400 SF | ||||
Workforce Housing | 400 SF | ||||
Rehabilitated Buildings | 400 SF | ||||
| Lodging and Hotel Units | N/A | N/A | 335 SF + | 335 SF + | |
| MINIMUM AVERAGE UNIT SIZES (SQUARE FEET) | R-PS1 | R-PS2 | R-PS3 | R-PS4 | |
| Apartments/Multi-family Units | |||||
New Construction | N/A (6) | N/A (6) | 850 SF (6) (7) (8) | 800 SF (6) (7)(8) | |
Non-elderly and elderly low and moderate income housing | N/A (6) | N/A (6) | 400 SF (6) (7)(8) | 400 SF (6) (7)(8) | |
Workforce Housing | N/A (6) | N/A (6) | 400 SF (6) (7)(8) | 400 SF (6) (7)(8) | |
Rehabilitated Buildings | N/A (6) | N/A (6) | 550 SF (6) (7)(8) | 550 SF (6) (7)(8) | |
| Lodging and Hotel Units | N/A | ||||
| LOT OCCUPATION | R-PS1 | R-PS2 | R-PS3 | R-PS4 | |
| Minimum Lot Area (square feet) | 5,750 | 5,750 | 5,750 | 5,750 | |
Minimum Lot Width (feet) | 50feet | 50 feet | 50 feet | 50 feet | |
| Required open space ratio | 0.60, See section 7.2.15.5 | 0.65, See section 7.2.15.5 | 0.70, See section 7.2.15.5 | 0.70, See section 7.2.15.5 | |
| BUILDING SETBACKS | |||||
| Front Setback (feet) Ⓐ | R-PS1 | R-PS2 | R-PS3 | R-PS4 | |
Subterranean | 5 feet | ||||
Pedestal | 5 feet (1) (2) | ||||
Tower | 50 feet | 60 feet – within the Ocean Beach Historic District (however, for residential apartment structures seeking approval under section 7.2.15.2.f.3 below, the tower setback shall be determined by the historic preservation board.) (3) | |||
| Side, Facing a Street Setback (feet) Ⓑ | R-PS1 | R-PS2 | R-PS3 | R-PS4 | |
Subterranean | 5 feet | ||||
Pedestal | 5 feet (1) | ||||
Tower | The required pedestal setback plus 10% the height of the building. (3) | ||||
| Side, Interior Setback (feet) Ⓒ | R-PS1 | R-PS2 | R-PS3 | R-PS4 | |
Subterranean | 7.5 feet - except when (4) below applies. 5 feet - Lots 50 feet wide or less 15 feet - on lots greater than 50 feet in width - for any portion of the pedestal above 35 feet in height - (for residential apartment structures seeking approval under section 7.2.15.2.f.3 below) (4) | ||||
Pedestal | |||||
Tower | The required pedestal setback plus 10% the height of the building 15 feet - for residential apartment structures seeking approval under section 7.2.15.2.f.3 below (3) | ||||
| Rear Setback (feet) Ⓓ | R-PS1 | R-PS2 | R-PS3 | R-PS4 | |
Subterranean | 10% of lot depth – Nonoceantront lots 20% of lot depth, 50 feet minimum from bulkhead line – Oceanfront Lots | ||||
Pedestal | |||||
Tower | 15% of lot depth – Nonoceanfront lots 25% of lot depth, 75 feet minimum from bulkhead line – Oceanfront lots however, for residential apartment structures seeking approval under section 7.2.15.2.f.3 below, the tower setback shall be the same as the pedestal setback. (3) | ||||
| |||||
| BUILDING HEIGHT | R-PS1 | R-PS2 | R-PS3 | RR-PS4 | |
| Maximum Height (feet) Ⓔ | 45 feet (5) 40 feet - Lots 50 feet wide or less (5) | 80 feet-Nonoceanfront Lots (5) 100 feet- Oceanfront Lots (5)(9) 40 feet - Lots 50 feet wide or less (5) | |||
| |||||
| |||||
| C-PS1 | Limited mixed-use commercial |
| C-PS2 | General mixed-use commercial |
| C-PS3 | Intensive mixed-use commercial |
| C-PS4 | Intensive mixed-use phased bayside commercial |
| USES TABLE (C-PS) | |
|---|---|
| C-PS 1, 2, 3, 4 | |
| RESIDENTIAL | |
| Single-family | P |
| Townhome | P |
| Apartment | P |
| LODGING | |
| Apartment hotel pursuant to sections 2.7.2, which requires a Commission warrant, and 7.5.4.5 | P* |
| Hotel pursuant to sections 2.7.2, which requires a Commission warrant, and 7.5.4.5 | P* |
| Suite hotels pursuant to sections 2.7.2, which requires a Commission warrant, and 7.5.4.5 | P* |
| Hostel pursuant to sections 2.7.2, which requires a Commission warrant, and 7.5.4.5 | Pro in C-PS1 and C-PS2 P in C-PS3 and C-PS4 |
| OFFICE | |
| COMMERCIAL | |
| Commercial | P |
| Accessory outdoor bar counters, provided that the accessory outdoor bar counter is not operated or utilized between midnight and 8:00 a.m.; however, for an accessory outdoor bar counter which is located on a property that is abutting a property with an apartment unit, the accessory outdoor bar counter may not be operated or utilized between 8:00 p.m. and 8:00 a.m. | Pro in C-PS1, C-PS2, C-PS3, and C-PS4 (except as provided below). A in CPS-4 North of 5th Street only. |
| Kennel | P in C-PS2 and C-PS4 Pro in C-PS1 and C-PS3 |
| Entertainment establishments | Pro P for properties fronting directly on Washington Avenue as of January 1, 2022 and located north of Fifth Street* |
| Outdoor entertainment establishments | Pro C for properties fronting directly on Washington Avenue as of January 1, 2022 and located north of Fifth Street* |
| Open air entertainment establishments | Pro C for properties fronting directly on Washington Avenue as of January 1, 2022 and located north of Fifth Street* |
| Pawnshops | Pro* |
| Dance Halls | Pro* |
| Neighborhood Impact Structure | C* |
| Gambling and casinos pursuant to section 7.1.8 | Pro |
| Rentals or leases of mopeds, motorcycles, and motorized bicycles pursuant to section 7.1.8 | Pro |
| Rentals or leases of any motor vehicle not described in section 7.1.8 | Pro on properties located north of 5th Street, between the east side of Lenox Avenue and the west side of Washington Avenue, within the C-PS2 district P elsewhere |
| Sale of any motor vehicle, including, but not limited to, automobiles, golf carts, low-speed vehicles, mopeds, motorcycles, motorized bicycles, motorized scooters, and others described in section 7.18 | Pro on properties located north of 5th Street, between the east side of Lenox Avenue and the west side of Washington Avenue, within the C-PS2 district P elsewhere |
| Convenience stores | Pro on properties located south of 5th Street and located north of 5th Street, between the east side of Lenox Avenue and the west side of Washington Avenue, within the C-PS2 district P elsewhere |
| Tobacco/vape dealers pursuant to section 7.5.5.9 | Pro on properties located south of 5th Street and located north of 5th Street, between the east side of Lenox Avenue and the west side of Washington Avenue, within the C-PS2 district P elsewhere |
| Liquor store and the retail sale of alcohol for off-premises consumption | Pro on properties located south of 5th Street and located north of 5th Street, between the east side of Lenox Avenue and the west side of Washington Avenue, within the C-PS2 district P elsewhere |
| Neighborhood and Retail Fulfillment Centers pursuant to section 7.1.8 | Pro |
| CIVIC | |
| Institutional | C |
| Religious Institutions with occupancy of 199 persons or less | P |
| Religious Institutions with occupancy of more than 199 persons | C |
| CIVIL SUPPORT | |
| EDUCATIONAL | |
| Schools | C P* |
| INDUSTRIAL | |
| Industrial Uses | Pro |
| OTHER | |
| Neighborhood impact establishments | C |
| Commercial and Non-Commercial Parking Lots and Garages | C |
Key P—Main Permitted Use C—Conditional use A — Accessory use Pro—Prohibited Use *See Supplemental Use Regulations Below | |
The “Block 51 Properties” shall mean Lots 5-9, 11, 12, 18-30 (and adjacent 10-foot strip of land), Block 51, Ocean Beach Addition No. 3, PB2, Pg81, Public Records of Miami-Dade County. MAP EXHIBIT-3
The “Block 51 Swap Property” shall mean Lot 4, Block 51, Ocean Beach Addition No. 3, PB2, Pg81, Public Records of Miami-Dade County. MAP EXHIBIT-4
The “Block 52 Properties” shall mean Lots 4-11, Block 52, Ocean Beach Addition No. 3, PB2, Pg81, Public Records of Miami-Dade County. MAP EXHIBIT-5
The “Block 1 Properties” shall mean Lots 1-3, 5-13 (and alley adjacent thereto), 17, Block 1, Ocean Beach Florida, PB2, Pg38, Public Records of Miami-Dade County. MAP EXHIBIT-6
The “Goodman Terrace and Hinson Parcels” shall mean those properties commonly known as the Goodman Terrace and Hinson Parcels, located south of South Pointe Drive and West of Washington Avenue, whose legal description is on file in the City Clerk’s Office. MAP EXHIBIT-7
The “Retail Parcel” shall mean the commercial building located south of South Pointe Drive, between Washington Avenue and the theoretical extension of Collins Avenue. MAP EXHIBIT-8
| DEVELOPMENT REGULATIONS TABLE (C-PS) | ||||
|---|---|---|---|---|
| C-PS1 | C-PS2 | C-PS3 | C-PS4 | |
| Maximum FAR | 1.0 1.5 for the Block 51 Properties (MAP EXHIBIT-3) and Block 52 Properties (MAP EXHIBIT-5) 2.0 for the Block 1 Properties (MAP EXHIBIT-6) | 2.0 | 2.5 | 2.5 |
FAR Residential and/or hotel development | 1.5 (4) | 1.75 (5) | 2.5 (6) (except on the Goodman Terrace and Hinson Parcels (MAP EXHIBIT-7), the FAR shall be that necessary to achieve 305,500 square feet (estimated at 3.2 FAR), and 300 feet height maximum for the Goodman Terrace and Hinson Parcels, and open space ratio 0.60 measured at or above grade) | 2.5 (6) (open space ratio shall be 0.60 measured at or above grade) |
| Maximum Density (Dwelling Units per Acre) | 80 DUA (80% bonus for workforce or affordable units) | 106 DUA (80% bonus for workforce or affordable units) | 125 DUA (80% bonus for workforce or affordable units) | 125 DUA (80% bonus for workforce or affordable units) |
| MINIMUM UNIT SIZES (SQUARE FEET) | C-PS1 | C-PS2 | C-PS3 | C-PS4 |
| Apartments/Multifamily Units | ||||
New Construction | 650 SF | 600 SF | 550 SF | 550 SF |
Non-elderly and elderly low and moderate income housing | 400 SF | |||
Workforce Housing | 400 SF | |||
Rehabilitated | 400 SF | |||
| Lodging and Hotel Units | 335 SF + | |||
| MINIMUM AVERAGE UNIT SIZES (SQUARE FEET) | C-PS1 | C-PS2 | C-PS3 | C-PS4 |
| Apartments/Multifamily Units | ||||
New Construction | 900 SF (9) (10) | 850 SF (9) (10) | 800 SF (9) (10) | 800 SF (9) (10) |
Non-elderly and elderly low and moderate income housing | 400 SF (9) (10) | |||
Workforce Housing | 400 SF (9) (10) | |||
Rehabilitated Buildings | 550 SF (9) (10) | |||
| Lodging and Hotel Units | N/A | |||
| LOT OCCUPATION | C-PS1 | C-PS2 | C-PS3 | C-PS4 |
| Minimum Lot Area (square feet) | 6,000 SF | |||
| Minimum Lot Width (feet) | 50 feet | |||
| BUILDING SETBACKS | ||||
| C-PS1 | C-PS2 | C-PS3 | C-PS4 | |
| Building setbacks for residential and/or hotel development | Pursuant to R-PS2 district regulations except maximum building height for residential and mixed use buildings shall be 75 feet | Pursuant to R-PS3 district regulations except maximum building height for residential and mixed use buildings shall be 75 feet | Pursuant to R-PS4 district regulations | Pursuant to R-PS4 district regulations |
| Front Setback (feet) Ⓐ | C-PS1 | C-PS2 | C-PS3 | C-PS4 |
Subterranean | 0 feet | |||
Pedestal | 0 feet (2) (3) 5 feet – for residential (2) (3) 20 feet from adjacent streets above the first 40 feet in height for the Block 1 Properties (MAP EXHIBIT-6), Block 51 Properties (except lots 11 and 12) (MAP EXHIBIT-3), Block 51 Swap Properties (MAP EXHIBIT-4) and Block 52 Properties (MAP EXHIBIT-5) (2) (3) | |||
Tower | ||||
| Side, Facing a Street Setback (feet) Ⓑ | C-PS1 | C-PS2 | C-PS3 | C-PS4 |
Subterranean | 0 feet | |||
Pedestal | 0 feet (2) Residential uses shall follow the R-PS1, 2, 3, 4 setbacks (See section 7.2.15.2.f) | |||
Tower | ||||
| Side, Interior Setback (feet) Ⓒ | C-PS1 | C-PS2 | C-PS3 | C-PS4 |
Subterranean | 0 feet | |||
Pedestal | 0 feet 7.5 feet - when abutting a residential district Residential uses shall follow the R-PS1, 2, 3, 4 setbacks (See section 7.2.15.2.f) | |||
Tower | ||||
| Rear Setback (feet) Ⓓ | C-PS1 | C-PS2 | C-PS3 | C-PS4 |
Subterranean | 0 feet | |||
Pedestal | 5 feet 10 feet - when abutting a residential district 3.5 feet for the Block 1 Properties (MAP EXHIBIT-6), Block 51 Properties (except lots 11 and 12) (MAP EXHIBIT-3), Block 51 Swap Properties (MAP EXHIBIT-4) and Block 52 Properties (MAP EXHIBIT-5) 0 feet - separated by a waterway | |||
Tower | ||||
| ||||
| BUILDING HEIGHT | ||||
| C-PS1 | C-PS2 | C-PS3 | C-PS4 | |
| Maximum Height (feet) Ⓔ | 40 feet (1) 75 feet (1) – for the Block 51 Properties (MAP EXHIBIT-3), the Block 51 Swap Property (MAP EXHIBIT-4). Block 52 Properties (MAP EXHIBIT-5)., and Block 1 Properties (MAP EXHIBIT-6). 75 feet - For residential and mixed use buildings | 50 feet (1) – East of Lenox Ave (MAP EXHIBIT-9) 75 feet – West of Lenox Ave (MAP EXHIBIT-10) 75 feet - For residential and mixed use buildings 75 feet – office building (7) (8) (11) | 80 feet (1) | 150 feet (1) |
| ||||
(12) Notwithstanding the building height regulations set forth above, the following regulations shall apply to properties located from 5th Street to 6th Street, between the east side of Lenox Avenue and the west side of Washington Avenue, within the C- PS2 district, except for those lots with frontage on Lenox Avenue and Washington Avenue as of January 1, 2022; in the event of a conflict within this division, the following provisions shall control: 1. In the event a lot with frontage on Washington Avenue as of January 1, 2022, is unified with a lot that does not have frontage on Washington Avenue, such unified site shall thereafter be subject to the regulations herein. 2. In the event a lot with frontage on Lenox Avenue as of January 1, 2022, is unified with another lot, such unified site shall thereafter be subject to the regulations herein. 3. The maximum permitted height within the first four platted lots measured southward from the south side of 6th Street shall be as follows: A. For development sites consisting solely of the first two platted lots to the south of 6th Street, either as a single lot or a unified development site, the maximum building height shall not exceed 50 feet, regardless of the use of the property. B. For development sites consisting solely of the first three platted lots to the south of 6th Street, as part of a unified development site, the maximum building height shall not exceed 28 feet within the first two platted lots to the south of 6th Street and 50 feet for the remainder of the development site, regardless of the use of the property. The Historic Preservation Board may allow up to 35 feet within the first platted lot fronting 6th Street and up to 50 feet for the second platted lot to the south of 6th Street; however, an affirmative vote of five members of the Historic Preservation Board shall be required to approve any increase in height authorized in this sentence on the first two platted lots to the south of 6th Street. For a development site consisting solely of the third platted lot south of 6th Street, the maximum building height shall not exceed 50 feet, regardless of the use of the property. C. For unified development sites consisting of four or more platted lots measured from the south side of 6th Street, the maximum building height shall not exceed 28 feet within the first two platted lots to the south of 6th Street and the maximum permitted height shall not exceed 40 feet within the third platted lot to the south side of 6th Street, regardless of the use of the property. The remainder of the development site shall be subject to the height limits in this section but shall not exceed a maximum height of 75 feet for a residential use. 4. A minimum setback of five (5’) feet shall be required along all front yards and side yards facing a street, in order to provide a clear pedestrian path that exceeds the width of the abutting sidewalk. This requirement may be waived by the Historic Preservation Board for portions of a property containing a contributing building. 5. On properties abutting an alley, no front- or street-side curb cut shall be permitted. If no alley exists, any curb-cut required shall not exceed 12 feet in width. 6. Notwithstanding the provisions of section 7.5.2.1 of these land development regulations, roof-top additions shall not exceed the applicable maximum building height set forth in this table (including footnotes). | ||||
| USES TABLE (RM-PS1) | |
|---|---|
| RM-PS1 | |
| RESIDENTIAL | |
| Single-family | P |
| Townhome | P |
| Apartment | P |
| LODGING | |
| Apartment hotel pursuant to section 7.5.4.5 | Pro |
| Hotel pursuant to section 7.5.4.5 | Pro |
| Suite hotel pursuant to section 7.5.4.5 | Pro |
| Hostel pursuant to section 7.5.4.5 | Pro |
| OFFICE | |
| COMMERCIAL | |
| Commercial | P (limited to stores and restaurants) (8% of floor area (1)) |
| Accessory outdoor bar counters, provided that the accessory outdoor bar counter is not operated or utilized between midnight and 8:00 a.m.; however, for an accessory outdoor bar counter which is located on a property that is abutting a property with an apartment unit, the accessory outdoor bar counter may not be operated or utilized between 8:00 p.m. and 8:00 a.m. | Pro |
| Entertainment establishments | Pro* |
| Outdoor entertainment establishments | Pro |
| Open air entertainment establishments | Pro |
| Neighborhood impact establishments | Pro |
| Pawnshops | Pro* |
| Dance Halls | Pro* |
| Gambling and casinos pursuant to section 7.1.8 | Pro |
| Rentals or leases of mopeds, motorcycles, and motorized bicycles pursuant to section 7.1.8 | Pro |
| Neighborhood and Retail Fulfillment Centers pursuant to section 7.1.8 | Pro |
| CIVIC | |
| Institutional | C (1.25% of floor area**) |
| CIVIL SUPPORT | |
| EDUCATIONAL | |
| INDUSTRIAL | |
| Industrial Uses | Pro* |
| OTHER | |
Key P—Main Permitted Use C—Conditional use A — Accessory use Pro—Prohibited Use *See Supplemental Use Regulations below 1. Floor area in the RM-PS1 district refers to total floor area in project. | |
| DEVELOPMENT REGULATIONS TABLE (RM-PS1) | |
|---|---|
| Maximum FAR | 1.5 |
| Maximum Density (Dwelling Units per Acre) | 102 DUA (80% bonus for workforce or affordable units) |
| MINIMUM UNIT SIZES (SQUARE FEET) | |
| Apartments/Multi-family Units | |
New Construction | 600 SF |
Non-elderly and elderly low and moderate income housing | 400 SF |
Workforce Housing | 400 SF |
Rehabilitated Buildings | 400 SF |
| Lodging and Hotel Units | N/A |
| MINIMUM AVERAGE UNIT SIZES (SQUARE FEET) | |
| Apartments/Multi-family Units | |
New Construction | 1000 SF (1) (2) |
Non-elderly and elderly low and moderate income housing | 400 SF (1) (2) |
Workforce Housing | 400 SF (1) (2) |
Rehabilitated Buildings | 400 SF (1) (2) |
| Lodging and Hotel Units | N/A |
| LOT OCCUPATION | |
| Minimum Lot Area (square feet) | 120,000 SF |
| Minimum Lot Width (feet) | 350 feet |
| Maximum Lot Coverage (% of lot area) | N/A |
| Required Open Space Ratio | 0.60 |
| BUILDING SETBACKS | |
| Front Setback Ⓐ | |
Subterranean | 2 feet when approved by the design review board; otherwise follow the R-PS1, 2, 3, 4 setbacks (See section 7.2.15.2.f) |
Pedestal | |
Tower | |
| Side, Facing a Street Setback Ⓑ | |
Subterranean | 2 feet when approved by the design review board; otherwise follow the R-PS1, 2, 3, 4 setbacks (See section 7.2.15.2.f) |
Pedestal | |
Tower | |
| Side, Interior Setback Ⓒ | |
Subterranean | otherwise follow the R-PS1, 2, 3, 4 setbacks (See section 7.2.15.2.f) |
Pedestal | |
Tower | |
| Rear Setback Ⓓ | |
Subterranean | 2 feet when approved by the design review board; otherwise follow the R-PS1, 2, 3, 4 setbacks (See section 7.2.15.2.f) |
Pedestal | |
Tower | |
| |
| BUILDING HEIGHT | |
| Maximum Height Ⓔ | 60 feet |
| |
| |
Any land or air rights owned by or leased to the city or other governmental agency for no less than an initial term of 20 years shall automatically convert to a GU government use district.
| USES TABLE (GU) | |
|---|---|
| RESIDENTIAL | |
| LODGING | |
| OFFICE | |
| COMMERCIAL | |
| Alcoholic Beverage Establishment | P* |
| Gambling and Casinos pursuant to section 7.1.8 | Pro |
| Rentals or leases of mopeds, motorcycles, and motorized bicycles pursuant to section 7.1.8 | Pro |
| Neighborhood and Retail Fulfillment Centers pursuant to section 7.1.8 | Pro |
| CIVIC | |
| Parks and associated parking | P |
| Performing arts and cultural facilities | P |
| Monuments and memorials | P |
| CIVIL SUPPORT | |
| EDUCATIONAL | |
| Schools | P |
| INDUSTRIAL | |
| OTHER | |
| Parking lots and garages | P |
Key P – Main Permitted Use C - Conditional Use A - Accessory Use Pro - Prohibited Use * See Supplemental use regulations below | |
Section 1, Chapter 7, entitled "Zoning Districts and Regulations, Article II, entitled "District Regulations," at Section 7.2.17, "CCC Civic and Convention Center Ditrict," is hereby amended as follows:
The CCC civic and convention center district accommodates the facilities necessary to support the convention center.
| USES TABLE (CCC) | |
|---|---|
| RESIDENTIAL | |
| LODGING | |
| Hotels | P |
| OFFICE | |
| Office | P |
| COMMERCIAL | |
| Commercial | P |
| merchandise mart | P |
| Alcoholic Beverage Establishment | P* |
| Gambling and Casinos pursuant to section 7.1.8 | Pro |
| Rentals or leases of mopeds, motorcycles, and motorized bicycles pursuant to section 7.1.8 | Pro |
| Neighborhood and Retail Fulfillment Centers pursuant to section 7.1.8 | Pro |
| CIVIC | |
| landscape open space | P |
| Performing Arts and Cultural facilities | P |
| Parks | P |
| CIVIL SUPPORT | |
| EDUCATIONAL | |
| INDUSTRIAL | |
| OTHER | |
| Parking Lots | P |
| Garages | P |
| Any use that is customarily associated with a convention center or governmental buildings and uses | A |
Key P – Main Permitted Use C - Conditional Use A - Accessory Use Pro - Prohibited Use * See Supplemental use regulations below | |
| DEVELOPMENT REGULATIONS TABLE (CCC) | |
|---|---|
| Maximum FAR | 2.75 |
| Maximum Density (Dwelling Units Per Acre) | N/A |
| Minimum Unit Size (square feet) | N/A |
| LOT OCCUPATION | |
| Minimum Lot Area (square feet) | N/A |
| Minimum Lot Width (feet) | N/A |
| BUILDING SETBACKS (3) | |
| Front Setback Ⓐ | |
Subterranean | Average of the requirements contained in the surrounding zoning districts as determined by the planning and zoning director. (2) |
Pedestal | |
Tower | |
| Front Setback Ⓐ Fronting 17th Street and Convention Center Drive | |
Subterranean | 10 feet at ground level 0 feet above 15 feet, as measured from DFE (1) |
Pedestal | |
Tower | |
| Side, Facing a Street, Setback Ⓑ | N/A |
| Side, Interior Setback Ⓒ | 5 feet |
| Rear Setback Ⓓ | 0 feet |
| |
| BUILDING HEIGHT | |
| Maximum Height Ⓔ | 100 feet |
Hotels | 150 feet |
| |
| |
The district is designed to accommodate public or private educational facilities.
| USES TABLE (SPE) | |
|---|---|
| RESIDENTIAL | |
| Student, faculty or staff housing | A* |
| LODGING | |
| OFFICE | |
| Administrative offices | A* |
| COMMERCIAL | |
| Commercial | Pro* |
| Alcoholic beverage establishments | Pro* |
| Cafeterias | A* |
| Gambling and casinos pursuant to section 7.1.8 | Pro |
| Rentals or leases of mopeds, motorcycles, and motorized bicycles pursuant to section 7.1.8 | Pro |
| Neighborhood and Retail Fulfillment Centers pursuant to section 7.1.8 | Pro |
| CIVIC | |
| Performing arts and cultural facilities | A* |
| art and music facilities | A* |
| CIVIL SUPPORT | |
| Religious facilities | A* |
| EDUCATIONAL | |
| Nursery School | P* |
| Pre-School | P* |
| Kindergarten School | P* |
| Elementary School | P* |
| Middle School | P* |
| High School | P* |
| College | P* |
| University | P* |
| Mikvehs | P* |
| House of Worship | P* |
| Accessory Classrooms | A* |
| Gymnasiums | A* |
| Auditoriums | A* |
| Sports and Recreational Facilities | A* |
| Dormitories | A* |
| INDUSTRIAL | |
| OTHER | |
| Parking lots and garages | A* |
Key P – Main Permitted Use C - Conditional Use A - Accessory Use Pro - Prohibited Use * See Supplemental use regulations below | |
| DEVELOPMENT REGULATIONS TABLE (SPE) | |
|---|---|
| Maximum FAR | 2.5 (1) |
Fana Holtz High School Parcel (MAP EXHIBIT-2) | 3.0 |
Mikveh Parcel (MAP EXHIBIT-4) | 1.0 |
| Maximum Density (Dwelling Units per Acre) | N/A |
| Minimum Unit Size (square feet) | N/A |
| LOT OCCUPATION | |
| Minimum Lot Area (square feet) | N/A |
| Minimum Lot Width (feet) | N/A |
| Maximum Lot Coverage (% of lot area) | N/A |
| BUILDING SETBACKS | |
| Front Setback Ⓐ | average of the requirements contained in the surrounding zoning districts (2) |
Hebrew Academy School Parcel (MAP EXHIBIT-1) and the 1.1 Acre Parcel (MAP EXHIBIT-3) which is adjacent to municipal owned land or a public right-of-way as of the effective date of the ordinance from which this division is derived | 0 feet |
| Side, Facing a Street Setback Ⓑ | average of the requirements contained in the surrounding zoning districts (2) |
Hebrew Academy School Parcel (MAP EXHIBIT-1) and the 1.1 Acre Parcel (MAP EXHIBIT-3) which is adjacent to municipal owned land or a public right-of-way as of the effective date of the ordinance from which this division is derived | 0 feet |
| Side, Interior Setback Ⓒ | average of the requirements contained in the surrounding zoning districts (2) |
Hebrew Academy School Parcel (MAP EXHIBIT-1) and the 1.1 Acre Parcel (MAP EXHIBIT-3) which is adjacent to municipal owned land or a public right-of-way as of the effective date of the ordinance from which this division is derived | 0 feet |
| Rear Setback Ⓓ | average of the requirements contained in the surrounding zoning districts (2) |
Hebrew Academy School Parcel (MAP EXHIBIT-1) and the 1.1 Acre Parcel (MAP EXHIBIT-3) which is adjacent to municipal owned land or a public right-of-way as of the effective date of the ordinance from which this division is derived | 0 feet |
| |
| BUILDING HEIGHT | |
| Maximum Height Ⓔ | |
Hebrew Academy School Parcel (MAP EXHIBIT-1) and the 1.1 Acre Parcel (MAP EXHIBIT-3) | 60 feet |
| |
| |
The HD hospital district is designed to accommodate hospital facilities.
| USES TABLE (HD) | |
|---|---|
| RESIDENTIAL | |
| LODGING | |
| OFFICE | |
| Offices | A* |
| Medical offices | A* |
| COMMERCIAL | |
| Laundry | A* |
| Out-patient care facilities including hospital based clinics and ambulatory surgical centers | A* |
| Commercial service facility | A* |
| Gambling and casinos pursuant to section 7.1.8 | Pro |
| Rentals or leases of mopeds, motorcycles, and motorized bicycles pursuant to section 7.1.8 | Pro |
| Neighborhood and Retail Fulfillment Centers pursuant to section 7.1.8 | Pro |
| CIVIC | |
| Place of worship | A* |
| CIVIL SUPPORT | |
| Hospital | P |
| Recreational facilities | A* |
| Accessory hospital facilities | P* |
| EDUCATIONAL | |
| Educational, research and diagnostic facilities | A* |
| Day care facilities | A* |
| INDUSTRIAL | |
| OTHER | |
| Parking structures and lots | A* |
Key P – Main Permitted Use C – Conditional Use A – Accessory Use Pro – Prohibited Use *See Supplemental Use Regulations below | |
| Planting/landscaping | 0.10% to 0.35% | |
| Paving/grading | 0.05% to 0.15% | |
| Water features | 0.05% to 0.15% | |
| Signs/graphics | 0.10% to 0.25% | |
| Street furniture | 0.05% to 0.10% | |
| Lighting | 0.05% to 0.10% | |
| Arcades | 0.05% to 0.15% | |
| Site planning | 0.10% to 0.25% | |
| Building design | 0.20% to 0.50% | |
| Total bonus | 0.75% to 2.00% | |
| DEVELOPMENT REGULATIONS TABLE (HD) | |
|---|---|
| Maximum FAR | N/A |
| Maximum Density (Dwelling Units Per Acre) | N/A |
| Minimum Unit Size (square feet) | N/A |
| LOT OCCUPATION | |
| Minimum Lot Area (square feet) | N/A |
| Minimum Lot Width (feet) | N/A |
| Minimum Unit Size (square feet) | N/A |
| BUILDING SETBACKS (1) | |
| Mt. Sinai | |
| Front Setback | 25 feet |
| Front, Facing a Street Setback | N/A |
| Side, Interior Setback | 15 feet |
| Rear Setback | 40 feet |
| |
| BUILDING HEIGHT | |
| Maximum Height | 150 feet |
buildings located within a historic district | 50 feet |
building within 500 feet of a single-family or multifamily district | 100 feet |
| |
| |
The MR marine recreation district is a waterfront district designed to accommodate recreational boating activities, recreational facilities, accessory uses and service facilities.
| USES TABLE (MR) | ||
|---|---|---|
| RESIDENTIAL | ||
| LODGING | ||
| OFFICE | ||
| COMMERCIAL | ||
| Commercial uses | P | |
| Restaurant serving alcoholic beverages | P* | |
| Alcoholic beverage establishments | A* | |
| Gambling and casinos pursuant to section 7.1.8 | Pro | |
| Rentals or leases of mopeds, motorcycles, and motorized bicycles pursuant to section 7.1.8 | Pro | |
| Dance halls | Pro | |
| Entertainment establishments | Pro | |
| Neighborhood and Retail Fulfillment Centers pursuant to section 7.1.8 | Pro | |
| CIVIC | ||
| CIVIL SUPPORT | ||
| EDUCATIONAL | ||
| INDUSTRIAL | ||
| OTHER | ||
| Marinas | P | |
| Boat docks | P | |
| Piers, etc. for noncommercial or commercial vessels and related upland structures | P | |
| Aquarium | P | |
| Parks | P | |
| Baywalks | P | |
| Public facilities | P | |
| Required parking for adjacent properties not separated by road or alley | P | |
Key P - Main Permitted Use C - Conditional Use A - Accessory Use Pro - Prohibited Use *See Supplemental Uses below | ||
| DEVELOPMENT REGULATIONS TABLE (MR) | |
|---|---|
| Maximum FAR | 0.25 (1) |
| Maximum Density (Dwelling Units Per Acre) | N/A |
| Minimum Unit Size (square feet) | N/A |
| LOT OCCUPATION | |
| Minimum Lot Area (square feet) | N/A |
| Minimum Lot Width (feet) | N/A |
| Maximum Lot Coverage (% of lot area) | N/A |
| BUILDING SETBACKS | Properties facing Waterway, Government Cut, Ocean or Bay |
| Front Setback Ⓐ | |
| Subterranean | 20 feet (2) 50 feet (For any yard facing a waterway, Government Cut, ocean or bay) (2) |
| Pedestal | |
| Side, Facing a Street Setback Ⓑ | |
| Subterranean | 20 feet (2) 50 feet (For any yard facing a waterway, Government Cut, ocean or bay) (2) |
| Pedestal | |
| Side, Interior Setback Ⓒ | |
| Subterranean | 20 feet (2) 50 feet (For any yard facing a waterway, Government Cut, ocean or bay) (2) |
| Pedestal | |
| Rear Setback Ⓓ | |
| Subterranean | 20 feet (2) 50 feet (For any yard facing a waterway, Government Cut, ocean or bay) (2) |
| Pedestal | |
| |
| BUILDING HEIGHT | |
| Maximum Height Ⓔ | 40 feet |
| |
| |
The WD-1 waterway district is designed to create a landscaped environment with uses that area of desirable character and in harmony with the waterway and the upland development.
The WD-2 waterway district is designed to accommodate beach-related accessory uses on the east side of Miami Beach Drive.
Chapter 7, entitled "Zoning Districts and Regulations," Article II, entitled "Zoning District Regulations," section 7.2.21, entitled "WD Waterway District," at subsection 7.2.21.2, entitled "Uses (WD-1)'" is hereby amended as follows:
| USES TABLE (WD-1) | |
|---|---|
| RESIDENTIAL | |
| LODGING | |
| OFFICE | |
| COMMERCIAL | |
| Kiosks | P |
| Alcoholic beverage establishments | Pro * |
| Gambling and Casinos pursuant to section 7.1.8 | Pro |
| Rentals or leases of mopeds, motorcycles, and motorized bicycles pursuant to section 7.1.8 | Pro |
| Neighborhood and Retail Fulfillment Centers pursuant to section 7.1.8 | Pro |
| CIVIC | |
| CIVIL SUPPORT | |
| EDUCATIONAL | |
| INDUSTRIAL | |
| OTHER | |
| Water transportation stops | P |
| Rental of watercraft, including jet skis and similar uses | Pro |
| Wet dockage of pleasure craft | P |
| Walkways and decks | P |
Key P – Main Permitted Use C - Conditional Use A - Accessory Use Pro - Prohibited Use * See Supplemental use regulations below | |
a. Supplemental main permitted uses Regulations (WD-1)
None
b. Supplemental Conditional uses Regulations (WD-1)
None
c. Supplemental Accessory uses Regulations (WD-1)
The accessory uses in the WD-1 waterway district are as follows:
d. Supplemental prohibited uses Regulations (WD-1)
None
| USES TABLE (WD-2) | |
|---|---|
| RESIDENTIAL | |
| LODGING | |
| OFFICE | |
| COMMERCIAL | |
| Outdoor cafes | P |
| Alcoholic beverage establishments | Pro * |
| Gambling and Casinos pursuant to section 7.1.8 | Pro |
| Rentals or leases of mopeds, motorcycles, and motorized bicycles pursuant to section 7.1.8 | Pro |
| Neighborhood and Retail Fulfillment Centers pursuant to section 7.1.8 | Pro |
| CIVIC | |
| CIVIL SUPPORT | |
| EDUCATIONAL | |
| INDUSTRIAL | |
| OTHER | |
| Pool decks | P |
| Cabanas and similar recreational uses which are water related or beach related | P |
Key P – Main Permitted Use C - Conditional Use A - Accessory Use Pro - Prohibited Use * See Supplemental use regulations below | |
| DEVELOPMENT REGULATIONS TABLE (WD-1 WD-2) | ||
|---|---|---|
| WD-1 | WD-2 | |
| Maximum FAR | N/A | 0.01 |
| Maximum Density (Dwelling Units Per Acre) | N/A | N/A |
| Minimum Unit Size (square feet) | N/A | N/A |
| Maximum Floor Area of Building (square feet) | 40 SF | N/A |
| Maximum number of buildings per site | 1 | N/A |
| LOT OCCUPATION | WD-1 | WD-2 |
| Minimum Lot Area (square feet) | N/A | N/A |
| Minimum Lot Width (feet) | N/A | N/A |
| Maximum Lot Coverage (% of lot area) | N/A | N/A |
| BUILDING SETBACKS | WD-1 | WD-2 |
| Front Setback Ⓐ | 0 feet (1) | N/A |
Front Setback (Fronting Miami Beach Drive) Ⓐ | N/A | 5 feet |
| Side, Facing a Street Setback Ⓑ | 10 feet (1) | 0 feet |
| Side, Interior Setback Ⓒ | 20 % of lot width (1) | 0 feet |
| Rear Setback Ⓓ | 0 feet (1) | 50 feet (erosion control line) 10 feet (if development is connected to a project in the Dune Preservation Overlay district) |
|
| |
| BUILDING HEIGHT | WD-1 | WD-2 |
| Maximum Height Ⓔ | 12 feet (2) | 15 feet |
|
| |
| ||
The GC golf course district is designed to accommodate golf courses on private property.
| USES TABLE (GC) | |
|---|---|
| RESIDENTIAL | |
| LODGING | |
| OFFICE | |
| Clubhouses | P |
| Sale and distribution of alcoholic beverages | A* |
| Glambling and Casinos pursuant to section 7.1.8 | Pro |
| Rentals or leases of mopeds, motorcycles, and motorized bicycles pursuant to section 7.1.8 | Pro |
| Neighborhood and Retail Fulfillment Centers pursuant to section 7.1.8 | Pro |
| CIVIC | |
| Golf Courses | P |
| Tennis Courts | P |
| CIVIL SUPPORT | |
| EDUCATIONAL | |
| INDUSTRIAL | |
Key P – Main Permitted Use C - Conditional Use A - Accessory Use Pro - Prohibited Use * See Supplemental use regulations below | |
| DEVELOPMENT REGULATIONS TABLE (GC) | ||
|---|---|---|
| Maximum FAR | N/A | |
| Maximum Density (Dwelling Units Per Acre) | N/A | |
| Minimum Unit Size (square feet) | N/A | |
| Maximum Total Construction (square feet) | 100,000 SF | |
| LOT OCCUPATION | ||
| Minimum Lot Area (square feet) | N/A | |
| Minimum Lot Width (feet) | N/A | |
| Maximum Lot Coverage (% of lot area) | N/A | |
| BUILDING SETBACKS | Main Building | Ancillary Structures |
| Fronting Alton Road | 200 feet (1) | 125 feet (2) |
| Setback abutting single family residences | 170 feet (3) | |
| All other Setbacks | 170 feet (4) | |
Existing At-Grade Parking Lots | 50 feet (from rear lot line) 10 feet (from the side lot line of any abutting single-family residence) | |
| BUILDING HEIGHT | Main Building | Ancillary Structures |
| Maximum Height Ⓔ | 42 feet (5) | 20 feet (2) |
| ||
| ||
The primary purpose of the I-1 urban light industrial district is to permit light industrial uses that are generally compatible with one another and with adjoining residential or commercial districts. Uses that are compatible and complement light industrial uses, such as a limited range of offices, and commercial uses shall also be permitted. This district shall not include any residential uses, except as provided herein.
| USES TABLE (I-1) | |
|---|---|
| RESIDENTIAL | |
| Residential Uses | Pro* |
| Live-work units | C* |
| LODGING | |
| Hostels | Pro* |
| OFFICE | |
| Professional, business, research or administrative offices | P* |
| COMMERCIAL | |
| Commercial uses | P* |
| Kennel | P |
| Restaurants with alcoholic beverage licenses | C* |
| Liquor Stores | C* |
| Alcoholic Beverage Establishments | A* |
| Formula commercial establishment | Pro* |
| Formula restaurant | Pro* |
| Dance Halls | Pro* |
| Entertainment Establishments | Pro* |
| Outdoor Entertainment Establishment | Pro* |
| Bars | Pro* |
| Pawnshops | Pro* |
| Tobacco and Vape Dealers | Pro* |
| Check cashing stores | Pro* |
| Convenience stores | Pro* |
| Occult science establishments | Pro* |
| Souvenir and T-shirt shops | Pro* |
| Tattoo studios | Pro* |
| Gambling and Casinos pursuant to section 7.1.8 | Pro |
| Rentals or leases of mopeds, motorcycles, and motorized bicycles pursuant to section 7.1.8 | Pro |
| Neighborhood and Retail Fulfillment Centers pursuant to section 7.1.8 | Pro |
| CIVIC | |
| Religious institutions with an occupancy of 199 persons or less | P |
| Religious institutions with an occupancy greater than 199 persons | C |
| CIVIL SUPPORT | |
| Neighborhood Impact Establishments | Pro |
| EDUCATIONAL | |
| INDUSTRIAL | |
| Assembly or packaging of goods not utilizing heavy machinery | P* |
| Light manufacturing, not utilizing heavy machinery | P* |
| Printing, engraving, lithographing, media services and publishing, not utilizing heavy machinery | P |
| Wholesale businesses and sales, warehouses, mini and other storage buildings, and distribution facilities | P* |
| Artisan Studios | P* |
| Plumbing, electrical, air conditioning and other similar type shops | P* |
| Tailoring Services | P* |
| Landscaping Services | P* |
| Machine, welding, and printing shops, involving heavy machinery | C |
| Recycling receiving stations | C |
| Towing services | C* |
| OTHER | |
| Main use parking garages and parking lots | C |
| Neighborhood Impact Structure | C |
| Neighborhood Impact Lot | C |
Key P – Main Permitted Use C – Conditional Use A – Accessory Use Pro – Prohibited Use *See Supplemental use regulations below | |
| DEVELOPMENT REGULATIONS TABLE (I-1) | |
|---|---|
| Maximum FAR | 1.0 |
| Maximum Density (Dwelling Units Per Acre) | N/A |
| Minimum Unit Size (square feet) | N/A |
| LOT OCCUPATION | |
| Minimum Lot Area (square feet) | N/A |
| Minimum Lot Width (feet) | N/A |
| Maximum Lot Coverage (% of lot area) | N/A |
| BUILDING SETBACKS | |
| Front Setback Ⓐ | |
Subterranean | 0 feet 20 feet (when abutting a residential district) |
Pedestal | |
Tower | |
| Side, Facing a Street Setback Ⓑ | |
Subterranean | 0 feet 10 feet (when abutting a residential district) |
Pedestal | |
Tower | |
| Side, Interior Setback Ⓒ | |
Subterranean | 0 feet 10 feet (when abutting a residential district) |
Pedestal | |
Tower | |
| Rear Setback Ⓓ | |
Subterranean | 0 feet 10 feet (when abutting a residential district) |
Pedestal | |
Tower | |
| |
| BUILDING HEIGHT | |
| Maximum Height Ⓔ | 40 feet |
On Terminal Island (MAP EXHIBIT-2) for commercial and office buildings | 75 feet |
| |
Convention hotel development as proposed in the city center/historic convention village redevelopment and revitalization area plan and specifically identified as sites 1-A and 1-B in the convention hotel development opportunity (request for proposals).
| Lot Area Equal to or Less Than 22,499 Square Feet | Lot Area Between 22,500 and 37,499 Square Feet | Lot Area Between 37,500 and 44,999 Square Feet | Lot Area Between 45,000 and 59,999 Square Feet | Lot Area Between 60,000 and 74,999 Square Feet | Lot Area Greater than 75,000 Square Feet | |
| Maximum floor area ratio | 1.25 | 1.85 | 2.45 | 3.05 | 3.65 | 4.25 |
| West Avenue Overlay Developable Lot Regulations Within the Existing RM-1 | |||||
|---|---|---|---|---|---|
| Existing Platted Lot Depth | Minimum Developable Lot Width | Maximum Developable Lot Width | Minimum Developable Lot Area | Maximum Developable Lot Area | |
| 100 feet @ Blocks 67-A, 67-B 79-A, 79-B, 79-C | Interior | 50 feet | 100 feet | 5,000 square feet | 10,000 square feet |
| 125 feet @ Blk.67- A | 12,500 square feet @ Blk.67-A | ||||
| Corner | 60 feet | 110 feet | 6,000 square feet | 11,000 sq. ft. | |
| 135 feet @ Blk.67- A | 13,500 square feet @ Blk.67-A | ||||
| 105 feet @ Block 81 | Interior | 50 feet | 100 feet | 5,250 square feet | 15,000 square feet |
| Corner | 65 feet | 115 feet | 6825 square feet | 17,250 square feet | |
| 112 feet @ Block 79-A | Interior | 50 feet | 100 feet | 5,600 square feet | 11,200 square feet |
| Corner | 60 feet | 110 feet | 6,720 square feet | 12,320 square feet | |
| 115 feet @ Block 81 | Corner | 45 feet | 150 feet | 5,175 square feet | 17,250 square feet |
| 150 feet @ Blocks 45, 66, 66-A, 67-B, 78, 78-A, 81 | Interior | 50 feet | 100 feet | 7,500 square feet | 15,000 square feet |
| Corner | 50 feet | 100 feet | 7,500 square feet | 15,000 square feet | |
| 55 feet @ Blk. 78 | 105 feet | 8,250 square feet | 15,750 square feet @ Blk. 78 | ||
| 57 feet @ Blk. 78-A | 107 feet | 8,550 square feet | 16,050 square feet @ Blk. 78-A | ||
| 60 feet @ Blk. 67-B | 110 feet | 9,000 square feet | 16,500 square feet @ Blk. 67-B | ||
| 65 feet @ Blk. 81 | 115 feet | 9,750 square feet | 17,250 square feet @ Blk. 81 | ||
| 160 feet @ Block 44 | Interior | 50 feet | 100 feet | 8,000 square feet | 16,000 square feet |
| Corner | |||||
The Residential Office Overlay Area is designed to accommodate the adaptive reuse of existing single-family and multi-family residential structures as of (the effective date of this ordinance) to allow as main permitted uses such uses permitted in the RO Residential/Office district. All other main permitted uses, conditional uses and accessory uses shall be the same as those provided for in the underlying RM-1 or RM-2 land-use designation.
In general, off-street parking within the required front yard setback is discouraged in residential neighborhoods as outlined by the underlying zoning designation, however, in the subject area parking may be permitted in the front yard setback subject to the following regulations:
| Minimum Lot Width | Minimum Building Front Setback | Maximum Driveway Curb Cut Width | Max. No. of Parking Spaces Permitted per Platted Lot | Orientation of Spaces | Fundamental Design Requirements |
| 50 feet | 20 feet | 12 feet | Two (2) spaces | Parallel to street | Buffer parking from street view with landscaping. No asphalt or concrete hardscaping |
| 17 feet | Two (2) spaces | Perpendicular to street | Two (2) 18" tire strips per space, No asphalt | ||
| 50 feet | 30 feet | 12 feet | Three (3) spaces | Parallel to street | Buffer parking from street view with landscaping. No asphalt or concrete hardscaping |
| 17 feet | Two (2) spaces | Perpendicular to street | Two (2) 18" tire strips per space, No asphalt | ||
| 60 feet | 20 feet | 12 feet | Four (4) spaces | Parallel to street | Buffer parking from street view with landscaping. No asphalt or concrete hardscaping |
| 17 feet | Two (2) spaces | Perpendicular to street | Two (2) 18" tire strips per space, No asphalt | ||
| 60 feet | 30 feet | 12 feet | Six (6) spaces | Parallel to street | Buffer parking from street view with landscaping. No asphalt or concrete hardscaping |
| 17 feet | Two (2) spaces | Perpendicular to street | Two (2), 18" tire strips per space, No asphalt |

The following overlay regulations shall apply to the Collins Park Arts District Overlay. All development regulations in the underlying zoning district shall apply, except as follows, and for any regulations in conflict, the following shall control:
The overlay regulations of this division shall apply to the properties identified in the Overlay Map below:

The purpose of this overlay district is to allow limited flexibility of uses, limited increases in heights, and limited flexibility in setbacks because of the common ownership and operation of the properties within the overlay district and the value of preserving historic buildings within the overlay district.
For this division, the following definitions shall apply:
The following overlay regulations shall apply to the FAENA District Overlay. All development regulations in the underlying district regulations shall apply, except as follows:

The following overlay regulations shall apply to the Ocean Terrace Overlay. All development regulations in the underlying regulations shall apply, except as follows:


The following regulations shall apply to the overlay district. There shall be no variances allowed from these regulations. All development regulations in the underlying zoning district and any other applicable overlay regulations shall apply, except as follows:
Notwithstanding any provision of these regulations to the contrary, the overlay ordinance shall not apply to real property that satisfies all of the foregoing criteria:
The following overlay regulations shall apply to the North Beach National Register Conservation District Overlay. All development regulations in the underlying RM-1 regulations shall apply, except as follows:
| Minimum Developable Lot Area (Square Feet) | Minimum Developable Lot Width (Feet) | Maximum Developable Lot Width (Feet) | Maximum Developable Aggregation (Platted Lots) |
| 5,000 square feet | 50 feet | 200 feet Developments where all residential units consist of workforce or affordable housing shall have no maximum lot width restriction. | Subject to section 7.3.8.4, two (2) lot maximum aggregation; up to three (3) lots may be aggregated, if permitted by the historic preservation or design review board, as applicable, and if all "contributing" buildings on the aggregated site are substantially retained and restored in accordance with section 7.3.8.4; five (5) lot maximum lot aggregation may be permitted if all residential units consist of workforce or affordable housing for a period of no less than fifty (50) years. Educational and religious institutions, existing as of April 21, 2018, and located on lots consisting of more than two (2) platted lots may be retained, provided all existing buildings on the lot are retained. There shall be no variances from these maximum lot aggregation restrictions, except for existing lots where all structures are proposed to be retained, and provided no additional lots are added. |
| Minimum Unit Size (Square Feet} | Average Unit Size (Square Feet} |
| New construction—400 | New construction—500 |
| Workforce or affordable housing—400 | |
| "Contributing" buildings which are substantially retained and restored—300 | "Contributing" buildings which are substantially retained and restored—400 |
| Additions to "contributing" buildings which are substantially retained and restored—300 | Additions to "contributing" buildings which are substantially retained and restored—400 |
| Front | Interior Side | Street Side | Rear | |
|---|---|---|---|---|
| North Shore | 10 feet | Non-waterfront: Lot width of 60 feet or less: 5 feet. Lot width of 61 feet or greater: 7.5 feet, or 8% of lot width, whichever is greater. Waterfront: 7.5 feet, or 8% of lot width, whichever is greater. Additionally, regardless of lot width, at least one interior side shall be 10 feet or 10 % of lot width, whichever is greater. | 5 feet | Non-waterfront lots: 5 feet Waterfront lots: 10 % of lot depth |
| Biscayne Beach | 10 feet | Non-waterfront: Lot width of 60 feet or less: 5 feet. Lot width of 61 feet or greater: 7.5 feet, or 8% of lot width, whichever is greater. Waterfront: 7.5 feet, or 8% of lot width, whichever is greater. Additionally, regardless of lot width, at least one interior side shall be 10 feet or 10 % of lot width, whichever is greater. | 5 feet | 10 % of lot depth |
| Normandy Isle and Normandy Shores | 20 feet Waterfront: 25 feet | Non-waterfront: Lot width of 60 feet or less: 5 feet. Lot width of 61 feet or greater: 7.5 feet, | 5 feet | 5 feet Waterfront: |
| or 8% of lot width, whichever is greater. Waterfront: 7.5 feet, or 8% of lot width, whichever is greater. Additionally, regardless of lot width, at least one interior side shall be 10 feet or 10 % of lot width, whichever is greater. | 10 % of lot depth, maximum 20 feet |
Where a development is proposed on two or more lots, if approved for an aggregation of greater than two (2) lots by the design review board or historic preservation board, as applicable, new construction shall comply with the following:
The aforementioned requirements listed in section 7.3.8.4.b shall not be applicable to any development where all residential units consist of workforce or affordable housing,
The overlay district consists of the properties in the Sunset Harbour Area, which is generally bounded by Purdy Avenue to the west, 20th Street and the waterway to the north, Alton Road to the east, and Dade Boulevard to the south.

The following regulations shall apply to the overlay district. There shall be no variances allowed from these regulations. All development regulations in the underlying zoning district and any other applicable overlay regulations shall apply, except as follows:
The following regulations shall apply to the overlay district. There shall be no variances allowed from the provisions of this section. All development regulations in the underlying zoning district and any other applicable overlay regulations shall apply, except as follows:
The following limitations shall apply to the commercial uses listed below:
Check cashing stores shall comply with the following regulations:
Such establishments shall be prohibited in the Ocean Terrace/Harding Townsite Area.
In areas of the overlay district not identified in Section 7.3.10.1.b above, there shall be no more than four (4) such establishments.
Convenience stores shall comply with the following regulations:
In the Ocean Terrace/Harding Townsite Area, there shall be a limit of one (1) such establishment.
In areas of the Overlay District not identified in Section 7.3.10.1.b above, there shall nbe no more than 25 such establishments.
Formula commercial establishments shall comply with the following regulations:
Such establishments shall be prohibited on lots fronting Ocean Terrace.
This subsection shall not apply to any establishment in the Ocean Terrace/Harding Townsite Area, other than those fronting Ocean Terrace.
Formula restaurants shall comply with the following regulations:
Such establishments shall be prohibited on lots fronting Ocean Terrace.
This subsection shall not apply to any establishment in the Ocean Terrace/Harding Townsite Area, other than those fronting Ocean Terrace.
Massage therapy centers shall be subject to the following regulations:
Such establishments shall not operate between 9:00pm and 7:00am in the Overlay Area.
Such establishments shall only be considered a permitted use as part of the following developments:
State certified schools for obtaining a massage therapy license, as a component of the main use.
Multi-family residential buildings, apartment hotels, suite hotels or hotels, with at least 50 units, as an accessory use.
Fitness centers, gyms and wellness centers, as a component of the main use.
State licensed medical offices and clinics, such as physical therapy centers, as a component of the main use.
Such establishments shall only be permitted as a conditional use as follows:
Within office buildings located in commercial district, TC district, or TC-C district.
Within multi-family residential buildings, apartment hotels, suite hotels, or hotels, with less than 50 units.
Occult science establishments shall be prohibited in the overlay district.
Package stores shall comply with the following regulations:
Such establishments shall be prohibited in the Ocean Terrace/Harding Townsite Area.
In areas of the Overlay District not identified in Section 7.3.10.1.b above, there shall be no more than six (6) such establishments.
Pawnshops shall be prohibited in the overlay district.
Souvenir and t-shirts shops shall be prohibited in the overlay district.
Tattoo studios shall comply with the followings regulations:
In areas of the Overlay District not included in Section 7.3.10.1.b above, there shall be no more than nine (9) such establishments.
Tobacco/vape dealers shall be prohibited in the overlay district.
Vitamin stores shall be prohibited in the overlay district.
Review procedures.
Commercial establishments in the overlay district that are not identified in Section 7.3.10.2.a shall comply with the following regulations:
A signed affidavit, in a form approved by the City Attorney and Planning Director, indicating that the business is not an establishment that is regulated by Section 7.3.10.2.a shall be provided to the city as part of the application for a certificate of use and building permit, as applicable.
If the establishment operated in violation of this section, or in a manner that is otherwise inconsistent with the provisions of the signed affidavit, the business tax receipt will be subject to suspension or revocation, as provided in the City Code, and shall immediately cease operation.
Commercial establishments in the overlay district that are identified in Section 7.3.10.2.a shall comply with the following regulations:
If applicable, the applicant shall provide a survey that is signed and sealed on a date no earlier than six (6) months prior to the application date, indicating the number, location, name, business tax reciept numbers, and distance separation of the applicable type of establishments within the overlay district. A distance separation shall be measured as a straight line between the principal means of entrance of each establishment and the proposed establishment.
Establishments existing as of the date of the enactment of this ordinance shall count towards the maximum number of such establishments permitted within Section 7.3.10.2.a.
A signed affidavit, in a form approved by City Attorney and Planning Director, indicating compliance with the regulations of Section 7.3.7.10.a for the applicable type of establishment shall be provided to the city prior to obtaining a business tax reciept.
If the establishment operates in violation of this section, or in manner that is otherwise inconsistent with the provisions of the signed affidavit, the business tax receipt will be subject to suspension or revocation, as provided in the City Code, and shall immediately cease operation.
If a particular establishment meets more than one definition (i.e. formula commercial establishment and pharmacy store), it must meet the requirements for the each use, and if there is a conflict between two or more regulations, the more stringent code requirement shall control.
NCD-1/RM-2: The boundaries of the Gilbert M. Fein Neighborhood Conservation District include those properties of Block 43, Alton Beach Bay Front Subdivision, recorded in Plat Book 4, at page 125, public records of Miami-Dade County, Florida, fronting or abutting Bay Road, Lincoln Terrace and 16th Street and commences at the point of intersection of the northern lot line of Lot 1 of the Lincoln Terrace Subdivision, and the bulkhead line of Biscayne Bay as recorded in Plat Book 49, at page 100, public records of Miami-Dade County, Florida. Said point being the point of beginning of the tract(s) of land herein described; thence run easterly, along the northern lot line of Lot 1 and its easterly extension to the point of intersection with the centerline of Bay Road; thence run southerly, along the centerline of Bay Road to the point of intersection with the easterly extension of the south lot line of Lot 15 of the Bay Lincoln Subdivision, recorded in Plat Book 58, at page 86, public records of Miami-Dade County, Florida; thence run westerly, along the south lot line of Lot 15 and its easterly extension to the point of intersection with the bulkhead line of Biscayne Bay; thence run northerly, along the bulkhead line to the point of beginning. Said lands located, lying and being in the City of Miami Beach, Miami-Dade County, Florida.
The regulations contained within the District Ordinance (Part III) of the Gilbert M. Fein Neighborhood Conservation District Plan Report shall apply within this district and where more restrictive, control over the general district regulations of the underlying RM-2 zoning district.
The Gilbert M. Fein NCD Plan Report including the Executive Summary (Part I), Designation Report (Part II), District Ordinance (Part III), Streetscape Improvement Plan (Part IV), and (Parts V through VII), shall be available on file at the planning department and online at: http://www.miamibeachfl.gov/WorkArea/DownloadAsset.aspx?id=81047
The minimum yards, parking space, open spaces, including lot area per family required by these regulations for each and every building existing at the time of the passage of these regulations or for any building hereafter erected, shall not be encroached upon or considered as required yard or open space for any other building, except as hereinafter provided, nor shall any lot area be reduced below the requirements of these regulations.
Except as provided in section 7.5.4.13.d, no accessory building shall be constructed upon a lot until the construction of the main permitted use building has been actually completed unless construction of the main and accessory buildings is concurrent. No accessory building shall be used unless the main use building on the lot is also being used.
No derelict motor vehicles shall be permitted on any parcel of land except as provided in section 7.2.23.1-2. A motor vehicle shall be considered derelict when it is in a wrecked, inoperative or partially dismantled condition, or when it does not have a current registration and license plate as required by F.S. ch. 320.
Store enclosures. In all use districts designated in these land development regulations, the sale, or exposure for sale or rent, of any personal property, including merchandise, groceries or perishable foods, such as vegetables and fruits, is prohibited, unless such sale, or exposure for sale, is made from a substantially enclosed, permanent building; provided, however, that nothing herein contained shall be deemed applicable to rooftop areas not visible from the right-of-way, filling stations, automobile service stations or repair shops; uses having revocable permits or beach concessions operated or granted by the city, newsracks or newspaper stands, or displays at sidewalk cafés as permitted in Chapter 82 of the General Ordinances, wherever such uses are otherwise permissible. Vehicles for rent or lease utilized in connection with the operation of an automobile rental agency as defined in section 102-356 of the General Ordinances, and not located within a substantially enclosed permanent building, shall require conditional use approval from the planning board, provided that the exposure of the vehicles is on the same site at which the automobile rental agency is located, and that such exposed vehicles are screened from view as seen from any right-of-way or adjoining property when viewed from 5 feet 6 inches above grade, with appropriate landscaping not to exceed 3 feet in height from grade.
Notwithstanding the foregoing, during a state of emergency declared by the city, the requirement that personal property be sold or rented from a substantially enclosed, permanent building may be waived by the city manager subject to the following conditions:
For all districts, except RS-1, 2, 3 and 4 (single-family residential districts).
The following regulations shall apply to allowable encroachments in all districts except single-family residential districts, unless otherwise specified in this Code.
This section applies to swimming pools in all districts, except where specified. Accessory swimming pools, open and enclosed, or covered by a screen enclosure, or screen enclosure not covering a swimming pool, may only occupy a required rear or side yard, provided as follows:
The following regulations shall apply for fences, lightpoles or other accessory structures associated with court games in all districts.
front—20 feet;
interior side—7 feet and 6 inches;
any side facing on a street—15 feet;
rear—7 feet and 6 inches.
On a corner lot, there shall be no structure or planting which obstructs traffic visibility between the height of 2 feet and 10 feet above the street corner grade, within the triangular space bounded by the two intersecting right-ofway lines and a straight line connecting the right-of-way lines 15 feet from their intersection.
Except as also provided in section 7.5.4.3, storage of motor vehicles shall be permitted only in the I-1 light industrial district, no such stored motor vehicle shall be utilized as a dwelling and such stored motor vehicles shall be fully screened from view as seen from any right-of-way or adjoining property when viewed from 5 feet 6 inches above grade, with an opaque wood fence, masonry wall or other opaque screening device not less than 6 feet in height.
Temporary sales buildings are permitted with the following conditions:
Parking lots or garages when a main permitted use shall not be permitted on lots fronting on Ocean Drive or Espanola Way.
Cross reference(s)—Parking lots generally, § 18-306 et seq.; traffic and vehicles, ch. 106.
For regulations pertaining to sidewalk cafes see section 82-366 et seq. in the General Ordinances.
Cross reference(s)—Sidewalk cafés generally, § 82-366 et seq.
Accessory outdoor bar counters shall be prohibited as a main permitted use in any zoning district. Accessory outdoor bar counters may only be permitted as an accessory use to the following, if not prohibited in the underlying zoning district, and provided all counters shall not be visible from any point along the property line adjacent to a public right-of-way:
1 "...Such fines shall not exceed $1,000.00 per day per violation for a first violation, $5,000.00 per day per violation for a repeat violation, and up to $15,000.00 per violation if the ... special magistrate finds the violation to be irreparable or irreversible in nature. In addition to such fines, a ... special magistrate may impose additional fines to cover all costs incurred by the local government in enforcing its codes and all costs of repairs ...". F.S. § 162.09(2)(d); see also City of Miami Beach Code sections 30-74 (d) and 114-8.
Landing or storage areas for helicopter, or other aircraft are only permitted in HD District. In no instance shall landing or storage areas for a helicopter, or any other type of aircraft, be permitted as an accessory use.
| Zoning District | Class I | Class II | Class III | Class IV | Class V | Class VI | Class VII | Class VIII |
|---|---|---|---|---|---|---|---|---|
| RS-1, 2, 3, 4 | P | |||||||
| TH | P | |||||||
| RM-1 | P | C | ||||||
| RM-PRD | P | |||||||
| RM-2 | A | P | C | C | C | |||
| RM-PRD-2 | A | P | ||||||
| RM-3 | A | P | C | C | C | |||
| CD-1 | P | P | C | C | ||||
| CD-2 | P | P | P | C | C | |||
| CD-3 | P | P | C | P | C | C | C | |
| I-1 | P | P | C | |||||
| MXE | P | P | ||||||
| GU | P | P | P | P | P | |||
| HD | P | P | P | P | P | P | P | P |
| RO | P | P | C | C | ||||
| RMPS-1 | P | C | ||||||
| RPS-1 | P | |||||||
| RPS-2 | P | |||||||
| RPS-3 | A | P | ||||||
| RPS-4 | A | P | ||||||
| C-PS1* | P | P | C | C | ||||
| C-PS2 | P | P | C | P | C | C | ||
| C-PS3 | P | P | P | C | C | |||
| C-PS4 | P | P | C | P | C | C | C | |
| TC-1 | P | P | P | C | C | C | ||
| TC-2 | P | P | P | C | C | |||
| TC-3 | C | P | C | |||||
| TC-C | P | P | C | P | C | C | C | |
| P—Main permitted use A—Permitted as an accessory use C—Conditional use Boxes with no designation signify that the use is NOT permitted | ||||||||







The city manager has the authority to suspend or revoke a business tax receipt following notice and hearing, or to summarily suspend a business tax receipt pending a hearing pursuant to section 102-385 of the General Ordinances.
A violation of this section 7.5.5.8 shall be subject to the following fines:
If the violation is the first offense, a person or business shall receive a civil fine of $5,000.00;
If the violation is the second violation within the preceding six (6) months, a person or business shall receive a civil fine of $10.000.00;
If the violation is the third violation within the preceding six (6) months, a person or business shall receive a civil fine of $20,000.00; and
If the violation is the fourth or subsequent violation within the preceding six (6) months, a person or business shall receive a civil fine of $30,000.00 and the business tax receipt shall be revoked.
Enforcement. The code compliance department shall enforce this section 7.5.5.8 Controlled Substances Regulations and Use. This shall not preclude other law enforcement agencies from any action to assure compliance with this section 7.5.5.8 and all applicable laws. If a violation of this section 7.5.5.8 is observed, the enforcement officer will be authorized to issue a notice of violation. The notice shall inform the violator of the nature of the violation, amount of fine for which the violator is liable, instructions and due date for paving the fine, that the violation may be appealed by requesting an administrative hearing before a special magistrate within ten (10) days after service of the notice of violation, and that the failure to appeal the violation within ten (10) days of service shall constitute an admission of the violation and a waiver of the right to a hearing.
Rights of violators; payment of fine; right to appear; failure to pay civil fine or to appeal; appeals from decisions of the special magistrate.
A violator who has been served with a notice of violation must elect to either:
Pay the civil fine in the manner indicated on the notice of violation; or