- IN GENERAL
This chapter, adopted pursuant to the provisions of RSMo 89.010 et seq., is intended to serve the following purposes:
(1)
To promote the health, safety, quality of life, comfort and general welfare of the city;
(2)
To preserve and protect property values throughout the city;
(3)
To restrict and regulate the height, number of stories, and size of structures; the percentage of lot coverage; the size of yards, courts, and other open spaces; and the density of population;
(4)
To divide the city into zones and districts; and
(5)
To regulate and restrict the location and use of structures and land within each district or zone.
(Code 1987, app. A, § 2; Ord. No. 7365, § 1(part), 2-5-2001)
(a)
Minimum requirements. In their interpretation and application, the provision of this chapter shall be held to be the minimum requirements for the promotion of the public health, safety, quality of life and welfare.
(b)
Overlapping or contradictory regulations. Where the conditions imposed by any provision of this chapter upon the use of land or structures are either more restrictive or less restrictive than comparable conditions imposed by other provision of any other law, ordinance, resolution, rule or regulations of any kind, the regulations which are more restrictive shall govern.
(c)
Private agreement. This chapter is not intended to abrogate, annul or otherwise interfere with any easement, covenant or any other private agreement of legal relationship; provided, however, that where the provisions of this chapter are more restrictive (or impose higher standards or requirements) than such easements, covenants or other private agreements or legal relationships, the provisions of this chapter shall govern.
(d)
Unlawful uses. No structure or use which was not lawfully existing at the time of the adoption of this chapter shall become or be made lawful solely by reason of the adoption of this chapter; and to the extent that, and in any respect, that, the unlawful structure or use is in conflict with the requirements of this chapter, the structure or use remains unlawful hereunder.
(Code 1987, app. A, § 3; Ord. No. 7365, § 1(part), 2-5-2001)
The following words, terms and phrases, when used in this chapter, shall have the meanings ascribed to them in this section, except where the context clearly indicates a different meaning:
Accessory building means a subordinate building having a use customarily incident to and located on the lot occupied by the main building, or a use customarily incident to the main use of the property. A building housing an accessory use is considered an integral part of the main building when it has any part of a wall in common with the main building, or is under an extension of the main roof and designed as an integral part of the main building.
Accessory use means a use of building or land that is customarily incident to and located on the same lot or premises as the main use of the premises.
Adult means a person 18 years of age or older.
Adult entertainment establishment means any business, premises or establishment including, without limitation, adult bookstores, adult video stores, adult motion picture theaters, adult mini-motion picture theaters, adult cabarets, adult live performance theaters which has any of the following:
(1)
Thirty percent or more of its annual gross receipts derived from:
a.
The offering of entertainment, performances, scenes, visual representations, or other presentations which are characterized by emphasis on depiction or description of specified sexual activities or of specified anatomical areas as herein defined; or
b.
The offering of stocks in trade of books, magazines, periodicals, or other printed matter or photographs, films, motion pictures, videocassettes, slides, or other photographic materials which are characterized by emphasis on depiction or description of specified sexual activities or of specified anatomical areas as herein defined, and instruments, devices, or paraphernalia designed for use in connection with specified sexual activities as herein defined; or
(2)
Thirty percent or more of its inventory on hand at any time consisting of stocks in trade of books, magazines, periodicals, or other printed matter or photographs, films, motion pictures, videocassettes, slides, or other photographic materials which are characterized by emphasis on depiction or description of specified sexual activities or of specified anatomical areas as herein defined, or paraphernalia designed for use in connection with specified sexual activities as herein defined; or
(3)
Thirty percent or more of its floor area at any time allocated to:
a.
Entertainment, performances, scenes, visual representations, or other presentations which are characterized by emphasis on depiction or description of specified sexual activities or of specified anatomical areas as herein defined; or
b.
The offering, display and storage of stocks in trade of books, magazines, periodicals, or other printed matter or photographs, films, motion pictures, videocassettes, slides, or other photographic materials which are characterized by emphasis on depiction or description of specified sexual activities or of specified anatomical areas as herein defined, and instruments, devices, or paraphernalia designed for use in connection with specified sexual activities as herein defined, and instruments, devices or paraphernalia designed for use in connection with specified sexual activities as herein defined.
Agricultural processing means the initial processing of crop-based agricultural products that is reasonably required to take place in close proximity to the site where such products are produced. Typical uses include grain mills.
Agricultural sales and service means an establishment primarily engaged in the sale, purchase, or rental of farm tools and implements, feed and grain, tack, animal care products and farm supplies. The term "agricultural sales and service" excludes the sale of large implements, such as tractors and combines, but includes food sales and farm machinery repair services that are accessory to the principal use.
Agriculture means the planting, cultivating, harvesting and storage of grains, hay or plants commonly grown in the county on parcels greater than 40 acres.
Agriculture, general, means the use of land for the production of livestock, dairy products, poultry or poultry products except that poultry and poultry products shall not include the non-commercial keeping of poultry or production of poultry products as provided for in chapter 8.
Agriculture, limited, means the use of land for the production of row crops, field crops, tree crops or timber.
Airport or airstrip means any public or privately owned or operated ground facility designed to accommodate landing and takeoff operations of aircraft, including all taxiways, aircraft storage and tie-down areas, hangars and other necessary buildings and open spaces.
Alley means a minor way that is used primarily for vehicular service access to the back or side of properties otherwise abutting on a street.
Alteration means any addition, removal, extension, or change in the location of any exterior wall of a main building or accessory building.
Animal care, general, means a use providing animal care, veterinary services or boarding. See Animal care, limited and Kennel.
Animal care, limited, means a use providing animal care, boarding and veterinary services for household pets, with no outside animal runs. See Animal care, general and Kennel.
Apartment means a room or a suite of rooms within an apartment house arranged, intended or designed for a place of residence of a single family or group of individuals living together as a single housekeeping unit.
Applicant means the owner or duly designated representative of land proposed to be subdivided, or for which a special permit, amendment, variance, construction permit, or certificate of occupancy has been requested. Consent shall be required from the legal owner of the premises.
Asphalt or concrete plant means an establishment engaged in the manufacture, mixing, batching or recycling of asphalt, asphaltic cement, cement or concrete products.
Assisted living means multifamily dwelling units used or designed to be used by older persons, persons with disabilities or other persons needing or desiring assistance with day-to-day living matters, but not including group homes, group housing, hospitals or convalescent care facilities. Typical uses include retirement communities in which housekeeping services, common dining facilities and recreational and social activities are offered to residents.
Auditorium or stadium means an open, partially enclosed or fully enclosed facility used or intended to be used primarily for spectator sports, entertainment events, expositions and other public gatherings. Typical uses include convention and exhibition halls, sports arenas and amphitheaters.
Automated teller machine (ATM) means a mechanized consumer banking device operated by a financial institution for the convenience of its customers, whether outside or in an access-controlled facility. Automatic teller machines (ATM) located within a building shall be considered accessory to the principal use unless the ATM is likely to be an independent traffic generator.
Bank or financial institution means establishments engaged in deposit banking. Typical uses include commercial banks, savings institutions and credit unions. The term "banks or financial institutions" also include automated teller machines.
Bar or tavern means an establishment in which the primary function is the sale and serving of alcoholic and cereal malt beverages for consumption on the premises, including establishments commonly known as cocktail lounges and nightclubs.
Basement means a story below the first story as defined under the term "story," counted as a story for height regulations if subdivided and used for dwelling purposes other than by a janitor or watchman employed on the premises. The majority of the floor to ceiling space shall be above the curb level or base plane.
Basic industry means an establishment engaged in the basic processing and manufacturing of materials or products predominately from extracted or raw materials. Typical uses include distilleries, pulp processing and paper products manufacturing; glass manufacturing; brick manufacturing steel works; tanneries; acid manufacturing; cement, lime, gypsum, or plaster of Paris manufacturing; fertilizer or chemical manufacturing; and petroleum refineries.
Bathhouse means an establishment or business which provides the services of baths of all kinds, including all forms and methods of hydrotherapy, unless operated or supervised by a medical or chiropractic practitioner or professional physical therapist licensed by the state board of healing arts.
Bed and breakfast means a family home, occupied as a permanent dwelling by the proprietor, in which lodging and meals are provided for time-limited durations to not more than four groups of patrons in a 24-hour period.
Block means a piece or parcel of land entirely surrounded by public highways or streets, other than alleys. In cases where the platting is incomplete or disconnected, the zoning administrator shall determine the outline of the block.
Board of adjustment or board means that board which has been created by the city council having jurisdiction and which has the statutory authority to hear and determine appeals, exceptions and variances to the zoning regulation.
Boardinghouse or lodginghouse means a building other than a hotel, occupied as a single housekeeping unit, where lodging or meals are provided for five or more persons for compensation, pursuant to previous arrangements, but not for the public or transients.
Building means any structure which is built for the support, enclosure, shelter, or protection of persons, animals, chattels, or movable property of any kind, and which is permanently affixed to the land; including structures designed and constructed in sections expressly for assembly and placement on a permanent perimeter foundation, with any transport equipment being readily detachable and designed for delivery purposes only, if the structure is placed on such foundation with all transport equipment permanently removed. A trailer, as herein defined, shall not be classified as a building.
Cannabis facility means any facility utilized for the purpose of growing, processing, or selling of cannabis plants related to the use of CBD products, medical marijuana, and other uses of the plants. This includes both commercial and residentially licensed facilities through the State of Missouri Department of Health and Senior Services and the City of Moberly.
Car wash means an establishment primarily engaged in cleaning or detailing motor vehicles, whether self-service, automatic or by hand.
Catering means an establishment engaged in the preparation of food and beverages for consumption at another location. The term "catering" shall not include the manufacturing of food as defined in the term "food/bakery product manufacturing."
Cemetery, crematory, mausoleum means land used or intended to be used for burial or cremation of the dead, whether human or animal, including a mausoleum or columbarium.
Churches, chapels, temples and synagogues. See the definition of Religious assembly.
Cluster development means the arrangement of buildings or structures in groups around common courts, driveways, parks or other unique features of the land permitting more latitude and flexibility in placement and design. The lots, buildings or structures in a cluster development must meet the requirements of the appropriate planned districts.
College or university means an institution of higher education offering undergraduate or graduate degrees.
Common open space means an area of land or water or combination thereof planned for passive or active recreation, but does not include areas utilized for streets, alleys, driveways or private roads, off-street parking or loading areas. However, the area of recreational activities such as swimming pools, tennis courts, shuffleboard courts, etc., may be included as common open space.
Communication tower means commercial AM/FM radio, television, microwave and cellular telephone transmission towers and accessory equipment and buildings.
Composting facility means a facility that is designed and used for transforming food, yard wastes and other organic material into soil or fertilizer by biological decomposition.
Comprehensive plan means a comprehensive plan made and adopted by the planning and zoning commission and the city council which, through a combination of text, charts and maps, sets forth proposals for general locations of various land uses, including streets, parks, schools, public buildings, and utilities.
Conditional use permit means a written permit issued by the zoning administrator with the written authorization of the board of zoning appeals. This conditional use permit provides permission under special conditions to make certain conditional uses of land in certain zoning districts as stipulated in each of the district zoning regulations.
Construction sales and service means an establishment engaged in the retail or wholesale sale of materials used in the construction of buildings or other structures, and the outdoor storage of construction equipment or materials on lots other than construction sites. Typical uses include lumberyards, home improvement centers, lawn and garden supply stores, electrical, plumbing, air conditioning, and heating supply stores, swimming pool sales, construction contractors' storage yards and construction equipment rental establishments.
Convalescent care means an establishment providing bed care and inpatient services for persons needing regular medical attention, but excluding facilities for the care and treatment of mental illness, alcoholism, narcotics addiction, emergency medical services or communicable disease. Typical uses include nursing homes.
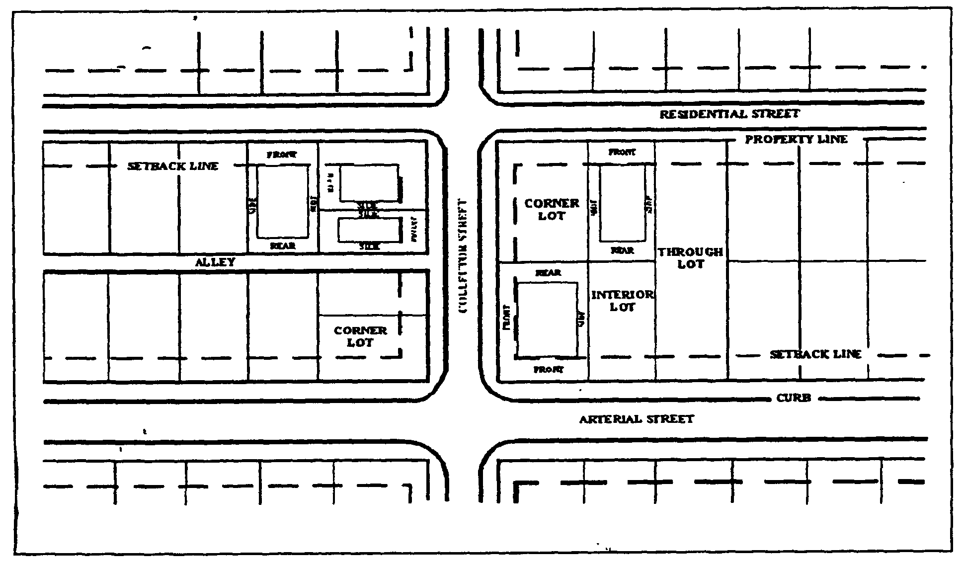
Corner means a lot abutting upon two or more streets at their intersection. A corner lot shall be deemed to front on that street on which it has its least dimension, unless otherwise specified by the zoning administrator, except that a lot as herein defined, when made up of more than one platted lot, shall be deemed to front on the street upon which the platted lots front.
Correctional facility means a facility providing housing and care for individuals confined for violations of law.
Court means an open, unoccupied space, other than yard, bounded on three or more sides by exterior walls of a building, or by exterior walls of a building and lot lines on which walls are allowable.
Cultural service means a facility providing cultural and educational services to the public. Typical uses include museums, art museums, observatories, planetariums, botanical gardens, arboretums, zoos and aquariums.
Curb level means the mean level of the curb in front of the lot or in case of a corner lot, along that abutting street where the mean curb level is the highest.
Day care, commercial, means a day care conducted in a structure other than a private residence for 11 or more children.
Day care, limited, means a day care establishment conducted in a private residence that provides care, protection and supervision for five to ten individuals at any one time, excluding those persons related to and residing in the home of the day care provider. The term "day care, limited," means a use that provides care, protection and supervision for individuals on a regular basis away from their primary residence for less than 24 hours per day.
Dedication means intentional transfer by the developer to the public of ownership of, or an interest in, land for public purpose. Dedication may be affected by compliance with statutes relating to dedication of land, by formal deed by conveyance, or by any other method recognized by the laws of the state.
District means a section of the zoning area for which uniform regulations governing the use of land, open space, the height of buildings, the size of yards and the intensity of use are herein established.
Duplex means a single lot used for two dwelling units within a single building, other than a manufactured home.
Dwelling means a building or portion thereof, designed exclusively for residential occupancy, including single-, two-family and multifamily dwellings, boardinghouses and lodginghouses, apartment houses and townhouses, but not hotels or motels.
Dwelling unit means and consists of one or more rooms that contain lawful cooking and sanitary facilities, inhabited by one or more persons living together and maintaining a common household, in a residential building or residential portion of a building.
Easement means a grant by a property owner to the public, a corporation, or a person of the use of a recorded strip of land for certain specified purposes.
Exterior setback means a required setback that fronts on a public street.
Family means one or more persons who are related by blood or marriage, living together and occupying a single housekeeping unit with single kitchen facilities, or a group of not more than four unrelated individuals living together by joint agreement and occupying a single housekeeping unit with single kitchen facilities, on a non-profit cost-sharing basis. A family shall under no circumstances be construed as a boardinghouse, fraternity or sorority house, club, lodginghouse, hotel or motel.
Fence means an enclosure or barrier as defined in the fencing ordinance used as a boundary, means of protection, privacy screening or confinement, but not including hedges, shrubs, trees or other natural growth.
Fence height means the vertical distance measured from the side of the fence that is exterior to the property or from the lowest adjacent ground level to the top of the fence material. In the case of wire fencing, height shall be measured by the width of the material used, however, when installed, the material is directly adjacent to the ground level.
Final development plan means a plan submitted for site plan review as required by this chapter for single-, two-family, multifamily, commercial, and industrial development proposals.
Floor area (for computing off-street parking requirements) means the gross floor area of the building measured from the exterior faces of the exterior walls or from the centerline of walls separating two buildings and shall include the following areas:
(1)
The basement floor area.
(2)
The area of each floor of the structure.
(3)
Attic space having headroom of seven feet ten inches or more.
Food store means an establishment where food and prepackaged beverages are sold on-site for consumption off-site. A limited amount of food preparation on-site may also be allowed, such as a delicatessen or bakery.
Food/bakery product manufacturing means a use engaged in the manufacture of food and food products, including non-retail bakeries, canning facilities and creameries.
Freight terminal means a building or area in which freight brought by truck, rail or air is processed for continued shipment by truck, rail or air.
Front means the boundary between a lot and the street on which it fronts. (For clarification of the front lot line location, see the definition of Corner.)
Frontage means the length of the property abutting on one side of a street measured along the dividing line between the property and the street.
Funeral home means an establishment engaged in preparing the human deceased for burial or cremation and arranging and managing funerals.
Garage means:
(1)
Public garage means a building or portion thereof, other than a private or repair garage, providing storage for motor vehicles, but no other services.
(2)
Privategarage means an accessory building or portion of a main building used for storage only of automobiles.
Gas and fuel sales/storage means the use of a site for bulk storage and distribution and sales of flammable liquid, gas or solid fuel, excluding below-ground storage that is clearly ancillary to an allowed principal use on the site.
Golf course means a facility providing private or public golf recreation services and support facilities. The term "golf course" shall exclude miniature golf courses and golf driving ranges except those that are clearly accessory uses. See Recreation and entertainment, outdoor.
Government service means buildings or facilities owned or operated by a government entity and providing services for the public, excluding utilities and park and recreation services. Typical uses include administrative offices of government agencies, and utility billing offices.
Grade means:
(1)
For buildings having walls facing one street only, the elevation of the sidewalk at the center of the wall facing the street shall be the grade.
(2)
For buildings having walls facing more than one street, the grade shall be the average of the grades (as defined in subsection (1) of this definition) of all walls facing each street.
(3)
For buildings having no wall facing a street, the average level of the finished surface of the ground adjacent to the exterior walls of the building shall be the grade.
Grain elevator means a tall building for storing grain.
Greenhouse, nursery means an establishment where flowers, trees, and other products that are commonly used as landscaping in and around buildings are grown and sold.
Gross leasable floor area means the total floor area designed for tenant occupancy and exclusive use, including basements, mezzanines, and upper floors, if any, expressed in square feet measured from the centerline of joint partitions and from the exterior surface of outside walls.
Ground floor (qualifying) means a ground floor of a building, new or existing, of a multifamily housing building, where the second story or basement starts more than six feet below or ten feet above the calculated curb or sidewalk level. In cases where the curb and sidewalk levels are not the same, the lesser elevation shall be used.
Ground floor dwelling unit means residential dwelling located in a vertical mixed-use structure/building on the ground floor in Central Business District Zoning District (B-2). Residential use dwelling units may not exceed 50 percent of the floor area and may not be located on the street frontage side of the building. See article III, section 46-148 for additional information.
Group home, general, means a residential home providing 24-hour care in a protected living environment for more than five persons with physical or mental disabilities and any number of caregivers.
Group home, limited, means a residential home providing 24-hour care in a protected environment for five or less unrelated persons with mental or physical disabilities; further, and pursuant to RSMo 89.020.2, such home may include two additional persons acting as house parents or guardians who need not be related to each other or to any of the mentally or physically handicapped persons residing in the home.
Group residential means the use of a site for occupancy by groups of more than five persons, not defined as a family, on a weekly or longer basis. Typical uses include fraternity or sorority houses, dormitories, residence halls, and boarding or lodginghouses. The term "group residential" does not include group homes.
Hard surfaced road means an all-weather surface improved with asphalt, concrete, asphaltic concrete or similar material designed to city street standards.
Hazardous operation means activities that present the potential for serious hazards to human life and health. Typical uses include arsenals, atomic reactors, explosives and fireworks manufacture, hazardous waste disposal, medical waste disposal and radioactive waste handling.
Hazardous substances means any substances or materials that, by reason of their toxic, caustic, corrosive, abrasive or otherwise injurious properties, may be detrimental or harmful to the health of any person handling or otherwise coming into contact with such material or substance.
Health club means a facility where members or nonmembers use equipment or space for the purpose of physical exercise.
Height of buildings and structures means the vertical distance from the average ground level abutting a building or structure to the highest point of a building or highest point of any permanent part of a structure other than a building. Height, where not regulated by feet, shall be regulated by stories and a story shall be equal to 12 feet for purposes of measuring structures other than buildings.
Heliport or helipad means an area, either on the ground or on a building, used as a landing pad for helicopters to pick up or discharge passengers or cargo.
Home occupation means a business, profession or trade conducted for gain or support entirely within a residential building; except that, day care may conduct recreation activities outdoors.
Homeless shelter. See temporary living shelter.
Hospital means an institution that:
(1)
Offers service more intensive than those required for room, board, personal services and general nursing care;
(2)
Offers facilities and beds for use beyond 24-hours by individuals requiring diagnosis, treatment, or care for illness, injury, deformity, infirmity, abnormality, disease, or pregnancy; and
(3)
Regularly makes available at least clinical laboratory services, diagnostic X-ray services, and treatment facilities for surgery or obstetrical care, or other definitive medical treatment of similar extent.
The term "hospitals" may include offices for medical and dental personnel, central service facilities such as pharmacies, medical laboratories and other related uses.
Hotel, motel, or tourist court means a structure which contains rooms furnished for the purposes of providing lodging, which may or may not also provide meals, entertainment or various other personal services to transient guests, and which is kept, used, maintained, advertised or held out to the public as a place where sleeping accommodations are sought for pay or compensation by transient guests for limited time periods, and not a boardinghouse as herein defined.
Institution means a building occupied by a nonprofit corporation or a nonprofit establishment for public use.
Interior means a lot whose side lines do not abut upon any street.
Interior setback means a required setback that does not front on a public street.
Kennel means any lot on which four or more adult dogs and cats, over the age of four months of age are kept.
Landfill means a disposal facility employing an engineered method of disposing of solid waste, including demolition and construction debris.
Laundry plant means an establishment that is primarily engaged in the large-scale washing or cleaning of laundry, rugs and similar materials. The term "laundry plant" does not include laundromats or dry cleaning pick-up stations.
Library means a publicly operated establishment housing a collection of books, magazines, audio and video tapes and other material for borrowing and use by the public.
Lot means a parcel of land occupied or to be occupied by one main building, or unit group of buildings, and the accessory buildings or uses customarily incidental thereto, including such open spaces as are required under this chapter, and having its principal frontage upon a public street. A lot, as used herein, may consist of one or more platted lots, or tracts as conveyed, or parts thereof.
FIGURE 1. LOT TYPES AND SETBACKS
Lot depth means the mean horizontal distance from the front street line to the rear line.
Lot line means the line bounding a lot.
Lot of record means a lot which is a part of a subdivision, the plat of which has been recorded in the office of the recorder of deeds or a lot described by metes and bounds, the description of which has been recorded in the office of the recorder of deeds prior to the adoption of this regulation.
Lot width means the horizontal distance between the side boundary lines of a property measured at the front building line.
Lot, zoning, means a parcel or tract of land used, developed or built upon as a unit under single ownership or control. The parcel of tract may consist of one or more lots of record, one or more portions of a lot or lots of record or any combination thereof.
Manufactured home means a structure which bears a seal indicating compliance with the federal manufactured home construction and safety standards established pursuant to 42 USC 5401, and constructed on or after June 15, 1976.
Manufactured home park means any area, piece, parcel, tract, or plot of ground equipped as required for support of manufactured homes and offered for use by the owner or representative for manufactured home park purposes or ground upon which three or more manufactured homes are parked, whether for compensation or not, including all accessory uses thereof. The term "manufactured home park" does not include sales lots of which unoccupied manufactured homes are parked for the purpose of inspection and sale.
Manufactured home (factory built home) residential design means a manufactured home which is designed with the same appearance of an on-site, conventionally built, single-family dwelling and satisfies the criteria established in article III of this chapter, use regulations.
FIGURE 2. MANUFACTURED HOME RESIDENTIAL DESIGN
Manufactured home sales means an establishment primarily engaged in the display and sale of manufactured housing units.
Manufacturing and assembly means establishments engaged in the manufacture, predominately from previously prepared materials, of finished products or parts, including processing, fabrication, assembly, treatment, and packaging of such products, and incidental storage, sales, and distribution of such products, but excluding basic industry.
Marijuana dispensary means a state licensed facility for the retail sale of medical marijuana and other recreational marijuana related products.
Massage shop means an establishment which has a fixed place of business having a source of income or compensation 60 percent or more of which is derived from the practice of any method of pressure on or friction against or stroking, kneading, rubbing, tapping, pounding, vibrating or stimulation of external parts of the human body with the hands or with the aid of any mechanical electric apparatus or appliances with or without such supplementary aids as rubbing alcohol, liniments, antiseptics, oils, powders, creams, lotion, ointment or other similar preparations commonly used in the practice of massage. Under such circumstances that it is reasonably expected that the person to whom the treatment is provided or some third person on his behalf will pay money or give any other consideration or gratuity; however, the term "massage shop" shall not include any establishment operated or supervised by a medical or chiropractic practitioner or professional physical therapist licensed by the state.
Materials recovery facility means a facility in which source separated co-mingled recyclable materials, such as newspapers, glass, metals and plastic containers, are stored, flattened, crushed or bundled prior to shipment to others who will use those materials to manufacture new products.
Medical service means an establishment providing therapeutic, preventive, or corrective personal treatment services on an outpatient basis by physicians, dentists, and other practitioners of the medical or healing arts, and the provision of medical testing and analysis services. Typical uses include clinics and offices for doctors of medicine, dentists, chiropractors, osteopaths, optometrists, blood banks and medical laboratories.
Military service means a facility used or intended to be used by a branch of the U.S. Armed Forces, including military reserves.
Mining or quarrying means the extraction of metallic and nonmetallic minerals, excluding oil or natural gas. Typical uses include sand and gravel pit operations, quarries and mines.
Mixed use building means a building that is used partly for residential use and partly for a commercial use and located in both the Central Business District (B-2) and Community Improvement District (CID) as adopted and identified by the city. The building shall maintain its existing façades as identified and defined in the city's adopted historic downtown design guidelines. When a building contains more than one use, the maximum floor area for the second floor or higher is 100 percent residential; the maximum floor area for the ground floor is 50 percent residential; and the maximum floor area for the basement floor is 100 percent residential.
Mobile food truck means a licensed motorized vehicle that includes a self contained or attached trailer kitchen in which food is prepared, processed, or stored and such vehicle is used to sell and dispense food to the general public.
Mobile food vending means an individual or business providing for the preparation and sale of food with the use of traveling cooking equipment used for vending. Approved equipment includes motorized food trucks, tow behind trailers, and cooking equipment that can be erected under a tent on a temporary basis.
Mobile home means a transportable, factory-built structure designed to be used as a single dwelling unit that was manufactured prior to June 15, 1976 and that does not bear a seal as provided by the Federal Manufactured Housing Construction and Safety Standards Act of 1974, 42 USC 5401 et seq.
Modeling studio means an establishment or business which provides for a fee or compensation the services of modeling on premises for the purpose of reproducing the human body wholly or partially in the nude by means of photography, painting, sketching, drawing or otherwise. This does not apply to public or private schools wherever persons are enrolled in a class.
Modular home means a manufactured residential structure built to a nationally-recognized and accepted construction standard published by the Building Officials & Code Administrators International, Inc. (BOCA) or the International Conference of Building Officials (ICBO) and the unit is inspected and certified at the factory that it meets the standard. A modular home shall have exterior structure materials and appearance similar to the customary single-family structures, as required of a manufactured home-residential design, and shall be permanently situated on a concrete foundation.
FIGURE 3. MODULAR HOME
Multifamily means a building or portion thereof, arranged, intended or designed for occupancy by three or more families on a rental or lease basis and commonly referred to as a triplex, four-plex or apartment building.
Multifamily residential means the use of a site for three or more dwelling units within a single building. Typical uses include triplexes, four-plexes, apartments and residential condominiums.
N/A means not applicable.
Nonconforming use, building or yard means a use, building or yard which does not, by reason of design, use, or dimensions, conform to the regulations of the district in which it is situated and existed as such on the date of the adoption of Ordinance No. 5270 (July 16, 1973) or any amendment thereto.
Non-ground floor dwelling units means residential dwelling located in a vertical mixed-use structure/building either above ground level or below the ground level floor. See article III, section 46-149 for additional information.
Office, general means an establishment providing executive, management, administrative or professional services, but not medical or dental services or the sale of merchandise, except as incidental to a permitted use. Typical uses include real estate, insurance, property management, investment, employment, travel, advertising, law, architecture, design, engineering, accounting and similar offices.
Oil or gas drilling/refining means the subsurface extraction or refining of oil or natural gas.
Parcel means a lot or contiguous group of lots in single ownership or under single control, usually considered a unit for purposes of development.
Parking lot, commercial means area used or intended to be used for off-street parking of operable motor vehicles on a temporary basis, other than as accessory parking to a principal use.
Parking area, off-street means an all-weather surfaced, (concrete, asphaltic concrete, or other comparable surface), enclosed or unenclosed for the short-term storage of automobiles.
Parking space means an area surfaced for all weather for the purpose of storing one parked automobile.
Parks and recreation means a park, playground or community facility, owned by or under the control of a public agency or homeowners' association, that provides opportunities for active or passive recreational activities.
Planning and zoning commission means the commission appointed by the city council to administer the planning and zoning regulations as stipulated by the city council and state law.
Post office means a facility used for the collection, sorting and distribution of mail among several zip code areas and having limited retail services for the public, such as the sale of stamps, postcards and postal insurance.
Preliminary development plan means a preliminary site plan that may be submitted at the option of the developer to the zoning administrator prior to submission of the final site plan.
Printing and publishing means the production of books, magazines, newspapers and other printed matter, and record pressing and publishing, engraving and photoengraving, but excluding businesses involved solely in retail photocopying, reproduction, photo developing or blueprinting services.
Rear means the boundary line which is opposite and most distant from the front street line; except that in the case of uncertainty the zoning administrator shall determine the rear line.
Recreation and entertainment, indoor, means an establishment offering recreation, entertainment or games of skill to the public for a fee or charge and that is wholly enclosed in a building. Typical uses include bowling alleys, indoor theaters, bingo parlors, pool halls, billiard parlors and video game arcades. The term "recreation and entertainment, indoor," does not include those uses considered as parks and recreation.
Recreation and entertainment, outdoor, means an establishment offering recreation, entertainment or games of skill to the public for a fee or charge, wherein any portion of the activity takes place in the open. Typical uses include archery ranges, batting cages, golf driving ranges, drive-in theaters and miniature golf courses. The term "recreation and entertainment, outdoor," does not include those uses considered as parks and recreation.
Recreational vehicle means any of the following vehicles which are licensed for travel on the highway: travel trailer (a vehicular, portable structure built on a chassis, designed to be used as a temporary dwelling for travel, recreation or vacation, or one permanently identified as a travel trailer by the manufacturer of the trailer); pick-up coach (a structure designed to be mounted on a truck chassis for use as a temporary dwelling for travel, recreation and vacation); motor-home (as a portable, temporary dwelling to be used for travel, recreation and vacation, constructed as an integral part of a self-propelled vehicle); and camping trailer (as a canvas, material or metal folding structure, mounted on wheels, and designed for travel, recreation and vacation use).
Recreational vehicle park means land used or intended to be used for occupancy by recreational vehicles for transient living purposes, including the use of camping spaces for tents.
Recycling collection center means a facility which is not larger than 1,000 square feet in size and is designed for the collection of aluminum and steel cans, glass, plastic containers, papers and other usable materials for their redistribution for sale or reutilization. The term "recycling collection center" does not include processing equipment or storage.
Recycling processing center means a facility designed for the purpose of collecting, redistributing and processing recyclable materials. Activities may include the receipt, separation, storage, conversion, bailing or processing of paper, iron, metal, glass, newspaper, and other non-biodegradable materials. Hazardous and biodegradable materials, as determined by the state department of natural resources, including, but not limited to, food, beverages, drugs, cosmetics, hazardous chemicals, poisons, medical wastes, syringes, needles, pesticides, and other similar materials, shall not be brought into or handled by a recycling processing center.
Religious assembly means a site used by a bona fide religious group primarily or exclusively for religious worship and related religious services, including a place of worship, retreat site or religious camp.
Repair means a building or portion thereof, designed or used for the storage, sale, hiring, care or repair of motor vehicles and which is operated for commercial purposes.
Repair service means an establishment primarily engaged in the provision of repair services to individuals and households, but excluding vehicle repair services. Typical uses include appliance repair shops.
Research service means an establishment engaged in conducting basic and applied research, including production of prototype products when limited to the minimum scale necessary for full investigation of the merits of a product, excluding production of products used primarily or customarily for sale or for use in non-prototype production operations.
Restaurant, fast food, means a use primarily engaged in the sale of food and non-alcoholic beverages in a ready-to-consume state and where the design or principal method of operation is that of a fast-food or drive-in restaurant offering quick food service, where orders are generally not taken at the customer's table, where food is generally served in disposable wrapping or containers, and where food and beverages may be served directly to the customer in a motor vehicle.
Restaurant, general, means a building wherein food is prepared and served in ready to eat form to the public for human consumption. The term "restaurant, general" shall include cafe, cafeteria, grill, pizza or chili parlor, diner, snack shop, hamburger shop and steak house.
Retail refers to the sale of commodities and services directly to customers, when such commodities and services are used or consumed by the customer and not purchased primarily for the purpose of resale.
Retail sales and service means an establishment engaged in the sale or rental of goods and services, including, but not limited to, antique shops, apparel and accessory stores, art and supply stores, bicycle shops, book and stationary stores, barber and beauty shops, candy and ice cream stores, cigar and tobacco stores, dressmakers and tailors, flower and gift shops, hobby shops, interior decorators, jewelry stores, key shops, leather goods and luggage stores, music instrument sales and repair, photocopying services, shoe repair and shoe shine stores, sporting and athletic goods, toy stores and department stores; excluding uses more specifically defined.
Safety service means a facility for conduct of public safety and emergency services, including fire and police protection services and emergency medical and ambulance services.
Salvage yard means a lot, land or structure, or part thereof, used primarily for the collecting, dismantling, storage and salvaging of machinery or vehicles that are not in operating condition; or for the sale of parts thereof. Typical uses include automobile salvage yards and junkyards.
School, elementary, middle or high means the use of a site for instructional purposes on an elementary or secondary level.
Screening means screening and enclosure required for permitted outdoor storage by means of a fence, wall or berm, in combination with landscaping, designed to create a minimum of 75 percent opacity. Crates, boxes, trailers or other temporary storage facilities shall not be considered appropriate screening materials.
Service floor area means the total floor area of a building exclusive of stairways, restrooms, storage rooms, hallways, or other areas which are not regularly used by visitors, clients, customers, patients, or patrons in their normal everyday use of the building.
Service station, automotive means a use primarily engaged in the retail sale of gasoline or other motor fuels primarily to automobiles and passenger vehicles, along with accessory activities such as the sale of lubricants, accessories, or supplies, the lubrication of motor vehicles, and the minor adjustment or repair of passenger motor vehicles. Uses involved primarily in the sale of diesel fuel, gasoline or other fuels to tractor trucks and uses that feature parking, storage or servicing of tractor trucks or semitrailers shall be classified as truck stop service stations.
Service station, truck stop means a use primarily engaged in the sale of diesel fuel, gasoline or other fuels to tractor trucks, along with accessory activities such as the sale of lubricants, accessories or supplies, or the servicing of tractor trucks or semitrailers. A truck stop service station may include, as an accessory use, the parking and storage of tractor trucks and semitrailers.
Setback means the distance that is required by this chapter to be maintained in an unobstructed state between a structure and the property line of the lot on which the structure is located.
Shipping containers also known as Conex, Sea-Land, Sea-Train, and Intermodal Containers shall be identified as shipping containers. Any prefabricated metal structure originally designed for the storage and shipping of freight or intermodal transport.
Shooting range means an outdoor facility used or intended to be used for the discharge of firearms at targets.
Short term rental housing means a residential dwelling unit permanently occupied by the owner wherein furnished rooms are held out to the public as a place where accommodations are sought for pay or compensation to transient guests for less than 30 continuous days.
Side means any lot boundary line not a front or rear line thereof, a side line may be a party lot line, a line bordering on an alley or place or a side street line.
Single-family means a detached building arranged, intended, or designed for occupancy by one family.
Sight triangle means an area at a street intersection in which nothing shall be erected, placed, planted, or allowed to grow in such a manner as to materially impede vision between a height of 2½ feet and eight feet above the grades of the outside edge of the street surface of the intersecting streets, measured from the point of intersection of the centerline of the streets, 90 feet in each direction along the centerline of the streets; except that, the city engineer may establish greater sight triangles based upon standards in the policy manual published by the American Association of State Highway and Transportation Officials (AASHTO).
FIGURE 4. SIGHT TRIANGLE MINIMUM STANDARDS
Sign means any words, numerals, figures, devices, designs or trademarks by which information is made known to the public outside a building.
Single-family residential, attached, means the use of a site for two or more dwelling units that are constructed with common or abutting walls and with each dwelling unit located on its own separate lot. Typical uses include townhouses and twin homes.
Single-family residential, detached, means the use of a lot for only one principal dwelling unit that is not connected to any other dwelling unit. The term "single-family residential, detached," includes manufactured homes-residential design and modular homes but shall exclude manufactured homes.
Small wireless facility means (i) an antenna of no more than six cubic feet in volume; and (ii) all other associated equipment, to the extent permitted by applicable law to be calculated, of cumulatively no more than 28 cubic feet in volume; provided no single piece of equipment on the utility pole shall exceed nine cubic feet in volume, and no single piece of ground mounted equipment shall exceed 15 cubic feet in volume.
Solid waste collection/processing means recycling collection centers, incinerators, processing facilities, materials recovery facilities, solid waste transfer stations or any facility where municipal solid wastes are salvaged, sorted, processed or treated.
Solid waste transfer station means a facility where solid waste or recyclable material is transferred from collection vehicles (some sorting may occur) to long distance hauling vehicles for transportation to a central solid waste management facility for processing, disposal, incineration or resource recovery.
Specified anatomical areas means any of the following:
(1)
Less than completely or opaquely covered human genitals, pubic region, buttocks, anus, or female breast area below a point immediately above the top of the areola; or
(2)
Human male genitals in a discernibly turgid state, even if completely and opaquely covered.
Specified sexual activities means any of the following:
(1)
Fondling or other erotic touching of human genitals, pubic region, buttocks, anus, or female breasts; or
(2)
Acts actual or simulated of sexual intercourse, masturbation, sodomy, or oral copulation; or
(3)
Excretory functions as part of or in connection with any of the activities set forth in subsections (1) and (2) of this definition.
Stable, commercial, means any building where horses, mules or ponies are sheltered, fed, or kept for hire.
Stable, private, means a detached accessory building for the keeping of horses, mules, or ponies owned by the occupants of the premises and not kept for remuneration, hire, or sale.
Stockyard means a non-farm-based facility used or intended to be used for selling or holding livestock.
Storage means a building or portion thereof, except those defined as a private, a repair or a community garage providing storage for motor vehicles, with facilities for washing but no other services.
Story means that part of a building included between the surface of one floor and the surface of the floor next above, or if there is no floor above, that part of the building which is between the surface of a floor and the ceiling next above. A top story attic is a half story when the main line of the eave is not above the middle of the interior height of such story. The first story is a half story when between 50 and 75 percent of the area of its exterior walls are exposed to outside light and air entirely above grade and which exterior walls contain windows or doors permitting the entrance of daylight and outside air.
Street means a right-of-way which affords principal means of vehicular access to property abutting thereon.
Street line means the dividing line between the street and the abutting property, also commonly known as the front property line.
Street network means:
(1)
Expressway means a street which provides fast and efficient movement of large volumes of traffic between areas and does not provide a land service function.
(2)
Arterial means a street which provides for through traffic movement between and around areas with direct access to abutting property, subject to necessary control of entrances, exits and curb uses.
(3)
Collector means a street which provides for traffic movement between arterials and local streets, with direct access to abutting property.
(4)
Local means a street which provides direct access to abutting land and local traffic movement whether in business, industrial, or residential areas.
Structural alterations means any change in the supporting members of a building, such as bearing walls, columns, beams or girders.
Structure means anything constructed or erected, which requires location on or in the ground, or attached to something having a location on the ground; including, but not limited to, signs, and excepting customary utility poles, retaining walls and boundary fences.
Studio, radio, television, film or music means an establishment primarily engaged in the provision of recording or broadcasting services accomplished through the use of electronic mechanisms.
Temporary living shelter means a building or facility that provides temporary, overnight housing for individuals that do not otherwise have a residence (home), or otherwise need those services.
Temporary use means a use which is only allowed for a specified period of time. Typical temporary uses include, but are not limited to, Christmas tree sales, garage sales, road stands, etc.
Through means an interior lot having frontage on two streets.
Total floor area means the square foot area of a building, including accessory buildings, measured from outside wall surfaces, and including garages, porches, utility rooms, stairways, recreation rooms, storage rooms, but excluding unroofed balconies and patios.
Tourist cabin: See definition of Hotel/motel.
Townhouse means a dwelling unit located in a group of three or more attached townhouse dwelling units with no other dwelling unit located above or below another and with each dwelling unit having at least one interior common wall and a private exterior entrance.
Townhouse site means a townhouse, the total land area beneath the townhouse and the facilities associated with the townhouse.
Townhouse structure means a grouping of three or more townhouses.
Transit facility means a facility used or intended to be used as an area for loading, unloading and interchange of transit passengers. Typical uses include bus terminals, rail stations and passenger related mass transit facilities.
Transitional living facility means a state licensed group-care home for juvenile delinquents, halfway houses providing residence, rehabilitation and counseling to persons on release from a more restrictive custodial confinement, and residential rehabilitation treatment centers which also may provide outpatient rehabilitation for alcohol and other drug abuse.
Twin home means the use of a site for two dwelling units that are constructed with common or abutting walls and with each dwelling unit located on its own separate lot. Twin homes are often created by subdividing a single duplex into two separate lots each of which contains one dwelling unit.
Two-family or duplex means a single building arranged, intended, or designed for occupancy by two families.
Used for includes arranged for, designed for, intended for, maintained for, and occupied for.
Utility, major, means generating plants; electrical switching facilities and primary substations; water and wastewater treatment plants; water tanks; and radio, television and microwave transmission towers; and similar facilities of agencies that are under public franchise or ownership to provide the public with electricity, gas, heat, steam, communication, rail transportation, water, sewage collection or other similar service. The term "utility, major" shall not be construed to include corporate or general offices; gas or oil processing; manufacturing facilities; postal facilities or other uses defined in this section.
Utility, minor means services and facilities of agencies that are under public franchise or ownership to provide services that are essential to support development and that involve only minor structures, such as poles and lines.
Variance means a variation from a specific requirement in this chapter, as applied to a specific piece of property, as distinct from rezoning.
Vehicle and equipment sales means an establishment engaged in the retail or wholesale sale or rental, from the premises, of motorized vehicles or equipment, along with incidental service or maintenance activities. Typical uses include new and used automobile and truck sales, automobile rental, boat sales, motorcycle sales, moving trailer rental, and farm equipment and machinery sales and rental.
Vehicle repair, general, means an establishment primarily engaged in painting of or bodywork to motor vehicles or heavy equipment. Typical uses include paint and body shops.
Vehicle repair, limited, means a use providing automobile repair or maintenance services within completely enclosed buildings, but not including general vehicle repair services.
Vehicle/equipment storage yard means an outdoor area used or intended to be used for long-term storage of vehicles and equipment, other than a commercial parking lot or accessory parking to a principal use.
Vertical mixed-use building means residential uses located above or below retail, commercial or office uses which are located on a ground floor. The added building height, density, and diversity of uses encourages pedestrian activity and provides housing choices close to goods and services for neighborhood residents.
Vocational school means a use providing education or training in business, commercial trades, language, arts or other similar activity or occupational pursuit, and not otherwise defined as a college or university or school.
Warehouse, residential storage, means an enclosed storage facility containing independent, fully enclosed bays that are leased to individuals exclusively for dead storage of their household goods or personal property.
Warehousing and wholesale means an establishment primarily engaged in the storage or sale of materials, equipment, or products or sale to wholesalers or retailers. Typical uses include cold storage, warehousing and dead storage facilities, but exclude residential storage warehouses and sale of goods to the general public.
Warming shelter. See temporary living shelter.
Welding or machine shop means a workshop where machines, machine parts, or other metal products are fabricated. Typical uses include machine shops, welding shops and sheet metal shops.
Work/live units (residential) means the residential use is accessory to the business or commercial use. Work/live units are permitted in the Central Business District (B-2) Zoning Districts and whose use is to encourage a business owner/operator to live in the same building. See article III, section 46-151 for additional information.
Yard means an open space at grade between a building and the adjoining lot lines, unoccupied and unobstructed by any portion of a structure from the ground upward, except as otherwise provided. In measuring a yard to determining the width of a side yard the depth of a front yard or the depth of a rear yard, the least horizontal distance between the lot line and the building shall be used.
(1)
Front means a yard across the full width of the lot extending from the front line of the main building to the front line of the lot.
(2)
Side means a yard between the main building and the adjacent side line of the lot, and extending entirely from a front yard to the rear yard.
(3)
Rear means a yard between the rear lot line and the rear line of the main building and the side lot lines.
Zone or district means a section of the zoning area for which uniform regulations governing the use, height, area, size, and intensity of use of structures, land, and open space are herein established.
Zoning administrator means the director of community development or other staff as designated by the city administrator.
Zoning area means the area to be zoned as set out on the official zoning map filed of record.
Zoning regulations means the lawfully adopted zoning ordinances of the city as codified in this chapter.
(Code 1987, app. A, § 4; Ord. No. 7365, § 1(part), 2-5-2001; Ord. No. 9120, § 1, 11-16-2015; Ord. No. 9496, § 1, 2-19-2019; Ord. No. 9505, § 1, 3-18-2019; Ord. No. 9506, § 1, 3-18-2019; Ord. No. 9507, § 1,3-18-2019; Ord. No. 9616, § 1, 8-17-2020; Ord. No. 9620, § 1, 9-8-2020; Ord. No. 9621, § 2, 9-8-2020; Ord. No. 9622, § 1, 9-8-2020; Ord. No. 9753, § 1, 4-17-2023; Ord. No. 9839, § 1, 8-19-2024; Ord. No. 9841, § 1, 10-7-2024)
(a)
The owner or agent of a structure or premises in or upon which a violation of any provision of this regulation has been committed or shall exist; or the lessee or tenant of an entire structure or entire premises in or upon which violation has been committed or shall exist; or the agent, architect, structure or premises in or upon which violation has been committed or shall exist, shall be punished by a fine of not less than $10.00 and not more than $100.00 for each and every day that such violation continues, but if the offense be willful on conviction thereof, the punishment shall be a fine of not less than $100.00 or more than $250.00 for each and every day such violation shall continue or by imprisonment for ten days for each and every day such violation shall continue or by both such fine and imprisonment in the discretion of the court.
(b)
In case any structure is erected, constructed, reconstructed, altered, repaired, converted or maintained, or any structure or land is used in violation of this regulation, the appropriate authorities, in addition to other remedies, may institute injunction, mandamus or other appropriate action or proceedings to prevent such unlawful erection, construction, reconstruction, alteration, conversion, maintenance of use, or to correct or abate such violation or to prevent the occupancy of the structure or land.
(Code 1987, app. A, § 88; Ord. No. 7365, § 1(part), 2-5-2001)
Unless otherwise specified, all distances provided in this chapter shall be measured horizontally.
(Code 1987, app. A, § 3)
The provisions of this chapter shall apply to all structures and land in the incorporated area of the city. The jurisdictional area within the corporate limits of the city shall be shown on the official zoning district map.
(Code 1987, app. A, § 5; Ord. No. 7365, § 1(part), 2-5-2001)
Where uncertainty exists with respect to the boundaries of the various districts as shown on the official zoning district maps, incorporated herein, the following rules apply:
(1)
The district boundaries are the centerlines of streets, alleys, waterways, and railroad rights-of-way, unless otherwise indicated; and where the designation of a boundary line on the zoning map coincides with the location of a street, alley, waterway, or railroad right-of-way, the centerline of such street, alley, waterway or railroad right-of-way shall be construed to be the boundary line of such district.
(2)
Where the district boundaries do not coincide with the location of streets, waterways, or railroad rights-of-way but do coincide with lot lines, such lot lines shall be construed to be the boundary of such district.
(3)
Where none of the above rules apply, the district boundaries shall be determined using the scale shown on the zoning map.
(Code 1987, app. A, § 8; Ord. No. 7365, § 1(part), 2-5-2001)
The following structures and uses shall be exempt from the provisions of this chapter:
(1)
Poles, wires, cables, conduits, vaults, laterals, pipes, mains, valves, or other similar equipment for the distribution to consumers of telephone or other communications, electricity, gas, or water, or the collection of sewage or surface water operated or maintained by a public utility but not including substations located on or above the surface of the ground;
(2)
Railroad tracks, signals, bridges, and similar facilities and equipment located on a railroad right-of-way, and maintenance and repair work on such facilities and equipment;
(3)
Agriculture as defined by this chapter. If any structure or land ceases to be used only for agriculture, then such structure or land shall be subject to the applicable regulations of this chapter;
(4)
Retaining walls on public property;
(5)
Public signs.
(Code 1987, app. A, § 9; Ord. No. 7365, § 1(part), 2-5-2001)
No structure or land shall be used or occupied, and no structure or part thereof shall be erected, constructed, reconstructed, moved, or structurally altered except in conformity with this chapter.
(Code 1987, app. A, § 10; Ord. No. 7365, § 1(part), 2-5-2001)
All land which may hereafter be annexed to the city shall be classified as N-1, Nonurban District, and so designated in the annexation ordinance.
(Code 1987, app. A, § 11; Ord. No. 7365, § 1(part), 2-5-2001)
The provisions specified for business uses in the overlay district within this section are intended to be only a summary of the requirements specified in the adopted zoning regulations for the city. If there are any questions regarding the following provisions, the applicable zoning regulations should be consulted. The following shall apply to a request a business use in the overlay district:
(1)
The applicant shall first meet with the zoning administrator to receive a complete explanation of the overlay district definitions and zoning requirements and to discuss the restrictions and limitations relating to the business use.
(2)
The applicant shall submit a completed permit application form and pay the appropriate application fee as established by the city council.
(3)
The zoning administrator shall review the submitted application with respect to the restrictions and limitations specified for home occupations in the zoning regulations to determine if the proposed business will comply with the restrictions and limitations.
(4)
If the zoning administrator determines that the business will comply with the restrictions and limitations specified by the zoning regulations, the applicant may then apply for a site plan review. Following the approval of the site plan, a business permit shall be issued. Issuance of a business permit within the overlay district shall be subject to continued compliance with the restrictions and limitations as specified in the zoning regulations. Noncompliance with any restriction and limitation shall cause the business permit to automatically become null and void.
(5)
Approval or denial of a business permit shall be based on the adopted standards in the city zoning regulation.
(Code 1987, app. A, § 13-1; Ord. No. 7854, § 1, 10-17-2005)
Legal lots of record platted prior to July 16, 1973, shall be required to meet yard area requirements as established by the pattern of development in the block or immediate residential environs.
(Code 1987, app. A, § 14; Ord. No. 7365, § 1(part), 2-5-2001)
- IN GENERAL
This chapter, adopted pursuant to the provisions of RSMo 89.010 et seq., is intended to serve the following purposes:
(1)
To promote the health, safety, quality of life, comfort and general welfare of the city;
(2)
To preserve and protect property values throughout the city;
(3)
To restrict and regulate the height, number of stories, and size of structures; the percentage of lot coverage; the size of yards, courts, and other open spaces; and the density of population;
(4)
To divide the city into zones and districts; and
(5)
To regulate and restrict the location and use of structures and land within each district or zone.
(Code 1987, app. A, § 2; Ord. No. 7365, § 1(part), 2-5-2001)
(a)
Minimum requirements. In their interpretation and application, the provision of this chapter shall be held to be the minimum requirements for the promotion of the public health, safety, quality of life and welfare.
(b)
Overlapping or contradictory regulations. Where the conditions imposed by any provision of this chapter upon the use of land or structures are either more restrictive or less restrictive than comparable conditions imposed by other provision of any other law, ordinance, resolution, rule or regulations of any kind, the regulations which are more restrictive shall govern.
(c)
Private agreement. This chapter is not intended to abrogate, annul or otherwise interfere with any easement, covenant or any other private agreement of legal relationship; provided, however, that where the provisions of this chapter are more restrictive (or impose higher standards or requirements) than such easements, covenants or other private agreements or legal relationships, the provisions of this chapter shall govern.
(d)
Unlawful uses. No structure or use which was not lawfully existing at the time of the adoption of this chapter shall become or be made lawful solely by reason of the adoption of this chapter; and to the extent that, and in any respect, that, the unlawful structure or use is in conflict with the requirements of this chapter, the structure or use remains unlawful hereunder.
(Code 1987, app. A, § 3; Ord. No. 7365, § 1(part), 2-5-2001)
The following words, terms and phrases, when used in this chapter, shall have the meanings ascribed to them in this section, except where the context clearly indicates a different meaning:
Accessory building means a subordinate building having a use customarily incident to and located on the lot occupied by the main building, or a use customarily incident to the main use of the property. A building housing an accessory use is considered an integral part of the main building when it has any part of a wall in common with the main building, or is under an extension of the main roof and designed as an integral part of the main building.
Accessory use means a use of building or land that is customarily incident to and located on the same lot or premises as the main use of the premises.
Adult means a person 18 years of age or older.
Adult entertainment establishment means any business, premises or establishment including, without limitation, adult bookstores, adult video stores, adult motion picture theaters, adult mini-motion picture theaters, adult cabarets, adult live performance theaters which has any of the following:
(1)
Thirty percent or more of its annual gross receipts derived from:
a.
The offering of entertainment, performances, scenes, visual representations, or other presentations which are characterized by emphasis on depiction or description of specified sexual activities or of specified anatomical areas as herein defined; or
b.
The offering of stocks in trade of books, magazines, periodicals, or other printed matter or photographs, films, motion pictures, videocassettes, slides, or other photographic materials which are characterized by emphasis on depiction or description of specified sexual activities or of specified anatomical areas as herein defined, and instruments, devices, or paraphernalia designed for use in connection with specified sexual activities as herein defined; or
(2)
Thirty percent or more of its inventory on hand at any time consisting of stocks in trade of books, magazines, periodicals, or other printed matter or photographs, films, motion pictures, videocassettes, slides, or other photographic materials which are characterized by emphasis on depiction or description of specified sexual activities or of specified anatomical areas as herein defined, or paraphernalia designed for use in connection with specified sexual activities as herein defined; or
(3)
Thirty percent or more of its floor area at any time allocated to:
a.
Entertainment, performances, scenes, visual representations, or other presentations which are characterized by emphasis on depiction or description of specified sexual activities or of specified anatomical areas as herein defined; or
b.
The offering, display and storage of stocks in trade of books, magazines, periodicals, or other printed matter or photographs, films, motion pictures, videocassettes, slides, or other photographic materials which are characterized by emphasis on depiction or description of specified sexual activities or of specified anatomical areas as herein defined, and instruments, devices, or paraphernalia designed for use in connection with specified sexual activities as herein defined, and instruments, devices or paraphernalia designed for use in connection with specified sexual activities as herein defined.
Agricultural processing means the initial processing of crop-based agricultural products that is reasonably required to take place in close proximity to the site where such products are produced. Typical uses include grain mills.
Agricultural sales and service means an establishment primarily engaged in the sale, purchase, or rental of farm tools and implements, feed and grain, tack, animal care products and farm supplies. The term "agricultural sales and service" excludes the sale of large implements, such as tractors and combines, but includes food sales and farm machinery repair services that are accessory to the principal use.
Agriculture means the planting, cultivating, harvesting and storage of grains, hay or plants commonly grown in the county on parcels greater than 40 acres.
Agriculture, general, means the use of land for the production of livestock, dairy products, poultry or poultry products except that poultry and poultry products shall not include the non-commercial keeping of poultry or production of poultry products as provided for in chapter 8.
Agriculture, limited, means the use of land for the production of row crops, field crops, tree crops or timber.
Airport or airstrip means any public or privately owned or operated ground facility designed to accommodate landing and takeoff operations of aircraft, including all taxiways, aircraft storage and tie-down areas, hangars and other necessary buildings and open spaces.
Alley means a minor way that is used primarily for vehicular service access to the back or side of properties otherwise abutting on a street.
Alteration means any addition, removal, extension, or change in the location of any exterior wall of a main building or accessory building.
Animal care, general, means a use providing animal care, veterinary services or boarding. See Animal care, limited and Kennel.
Animal care, limited, means a use providing animal care, boarding and veterinary services for household pets, with no outside animal runs. See Animal care, general and Kennel.
Apartment means a room or a suite of rooms within an apartment house arranged, intended or designed for a place of residence of a single family or group of individuals living together as a single housekeeping unit.
Applicant means the owner or duly designated representative of land proposed to be subdivided, or for which a special permit, amendment, variance, construction permit, or certificate of occupancy has been requested. Consent shall be required from the legal owner of the premises.
Asphalt or concrete plant means an establishment engaged in the manufacture, mixing, batching or recycling of asphalt, asphaltic cement, cement or concrete products.
Assisted living means multifamily dwelling units used or designed to be used by older persons, persons with disabilities or other persons needing or desiring assistance with day-to-day living matters, but not including group homes, group housing, hospitals or convalescent care facilities. Typical uses include retirement communities in which housekeeping services, common dining facilities and recreational and social activities are offered to residents.
Auditorium or stadium means an open, partially enclosed or fully enclosed facility used or intended to be used primarily for spectator sports, entertainment events, expositions and other public gatherings. Typical uses include convention and exhibition halls, sports arenas and amphitheaters.
Automated teller machine (ATM) means a mechanized consumer banking device operated by a financial institution for the convenience of its customers, whether outside or in an access-controlled facility. Automatic teller machines (ATM) located within a building shall be considered accessory to the principal use unless the ATM is likely to be an independent traffic generator.
Bank or financial institution means establishments engaged in deposit banking. Typical uses include commercial banks, savings institutions and credit unions. The term "banks or financial institutions" also include automated teller machines.
Bar or tavern means an establishment in which the primary function is the sale and serving of alcoholic and cereal malt beverages for consumption on the premises, including establishments commonly known as cocktail lounges and nightclubs.
Basement means a story below the first story as defined under the term "story," counted as a story for height regulations if subdivided and used for dwelling purposes other than by a janitor or watchman employed on the premises. The majority of the floor to ceiling space shall be above the curb level or base plane.
Basic industry means an establishment engaged in the basic processing and manufacturing of materials or products predominately from extracted or raw materials. Typical uses include distilleries, pulp processing and paper products manufacturing; glass manufacturing; brick manufacturing steel works; tanneries; acid manufacturing; cement, lime, gypsum, or plaster of Paris manufacturing; fertilizer or chemical manufacturing; and petroleum refineries.
Bathhouse means an establishment or business which provides the services of baths of all kinds, including all forms and methods of hydrotherapy, unless operated or supervised by a medical or chiropractic practitioner or professional physical therapist licensed by the state board of healing arts.
Bed and breakfast means a family home, occupied as a permanent dwelling by the proprietor, in which lodging and meals are provided for time-limited durations to not more than four groups of patrons in a 24-hour period.
Block means a piece or parcel of land entirely surrounded by public highways or streets, other than alleys. In cases where the platting is incomplete or disconnected, the zoning administrator shall determine the outline of the block.
Board of adjustment or board means that board which has been created by the city council having jurisdiction and which has the statutory authority to hear and determine appeals, exceptions and variances to the zoning regulation.
Boardinghouse or lodginghouse means a building other than a hotel, occupied as a single housekeeping unit, where lodging or meals are provided for five or more persons for compensation, pursuant to previous arrangements, but not for the public or transients.
Building means any structure which is built for the support, enclosure, shelter, or protection of persons, animals, chattels, or movable property of any kind, and which is permanently affixed to the land; including structures designed and constructed in sections expressly for assembly and placement on a permanent perimeter foundation, with any transport equipment being readily detachable and designed for delivery purposes only, if the structure is placed on such foundation with all transport equipment permanently removed. A trailer, as herein defined, shall not be classified as a building.
Cannabis facility means any facility utilized for the purpose of growing, processing, or selling of cannabis plants related to the use of CBD products, medical marijuana, and other uses of the plants. This includes both commercial and residentially licensed facilities through the State of Missouri Department of Health and Senior Services and the City of Moberly.
Car wash means an establishment primarily engaged in cleaning or detailing motor vehicles, whether self-service, automatic or by hand.
Catering means an establishment engaged in the preparation of food and beverages for consumption at another location. The term "catering" shall not include the manufacturing of food as defined in the term "food/bakery product manufacturing."
Cemetery, crematory, mausoleum means land used or intended to be used for burial or cremation of the dead, whether human or animal, including a mausoleum or columbarium.
Churches, chapels, temples and synagogues. See the definition of Religious assembly.
Cluster development means the arrangement of buildings or structures in groups around common courts, driveways, parks or other unique features of the land permitting more latitude and flexibility in placement and design. The lots, buildings or structures in a cluster development must meet the requirements of the appropriate planned districts.
College or university means an institution of higher education offering undergraduate or graduate degrees.
Common open space means an area of land or water or combination thereof planned for passive or active recreation, but does not include areas utilized for streets, alleys, driveways or private roads, off-street parking or loading areas. However, the area of recreational activities such as swimming pools, tennis courts, shuffleboard courts, etc., may be included as common open space.
Communication tower means commercial AM/FM radio, television, microwave and cellular telephone transmission towers and accessory equipment and buildings.
Composting facility means a facility that is designed and used for transforming food, yard wastes and other organic material into soil or fertilizer by biological decomposition.
Comprehensive plan means a comprehensive plan made and adopted by the planning and zoning commission and the city council which, through a combination of text, charts and maps, sets forth proposals for general locations of various land uses, including streets, parks, schools, public buildings, and utilities.
Conditional use permit means a written permit issued by the zoning administrator with the written authorization of the board of zoning appeals. This conditional use permit provides permission under special conditions to make certain conditional uses of land in certain zoning districts as stipulated in each of the district zoning regulations.
Construction sales and service means an establishment engaged in the retail or wholesale sale of materials used in the construction of buildings or other structures, and the outdoor storage of construction equipment or materials on lots other than construction sites. Typical uses include lumberyards, home improvement centers, lawn and garden supply stores, electrical, plumbing, air conditioning, and heating supply stores, swimming pool sales, construction contractors' storage yards and construction equipment rental establishments.
Convalescent care means an establishment providing bed care and inpatient services for persons needing regular medical attention, but excluding facilities for the care and treatment of mental illness, alcoholism, narcotics addiction, emergency medical services or communicable disease. Typical uses include nursing homes.
Corner means a lot abutting upon two or more streets at their intersection. A corner lot shall be deemed to front on that street on which it has its least dimension, unless otherwise specified by the zoning administrator, except that a lot as herein defined, when made up of more than one platted lot, shall be deemed to front on the street upon which the platted lots front.
Correctional facility means a facility providing housing and care for individuals confined for violations of law.
Court means an open, unoccupied space, other than yard, bounded on three or more sides by exterior walls of a building, or by exterior walls of a building and lot lines on which walls are allowable.
Cultural service means a facility providing cultural and educational services to the public. Typical uses include museums, art museums, observatories, planetariums, botanical gardens, arboretums, zoos and aquariums.
Curb level means the mean level of the curb in front of the lot or in case of a corner lot, along that abutting street where the mean curb level is the highest.
Day care, commercial, means a day care conducted in a structure other than a private residence for 11 or more children.
Day care, limited, means a day care establishment conducted in a private residence that provides care, protection and supervision for five to ten individuals at any one time, excluding those persons related to and residing in the home of the day care provider. The term "day care, limited," means a use that provides care, protection and supervision for individuals on a regular basis away from their primary residence for less than 24 hours per day.
Dedication means intentional transfer by the developer to the public of ownership of, or an interest in, land for public purpose. Dedication may be affected by compliance with statutes relating to dedication of land, by formal deed by conveyance, or by any other method recognized by the laws of the state.
District means a section of the zoning area for which uniform regulations governing the use of land, open space, the height of buildings, the size of yards and the intensity of use are herein established.
Duplex means a single lot used for two dwelling units within a single building, other than a manufactured home.
Dwelling means a building or portion thereof, designed exclusively for residential occupancy, including single-, two-family and multifamily dwellings, boardinghouses and lodginghouses, apartment houses and townhouses, but not hotels or motels.
Dwelling unit means and consists of one or more rooms that contain lawful cooking and sanitary facilities, inhabited by one or more persons living together and maintaining a common household, in a residential building or residential portion of a building.
Easement means a grant by a property owner to the public, a corporation, or a person of the use of a recorded strip of land for certain specified purposes.
Exterior setback means a required setback that fronts on a public street.
Family means one or more persons who are related by blood or marriage, living together and occupying a single housekeeping unit with single kitchen facilities, or a group of not more than four unrelated individuals living together by joint agreement and occupying a single housekeeping unit with single kitchen facilities, on a non-profit cost-sharing basis. A family shall under no circumstances be construed as a boardinghouse, fraternity or sorority house, club, lodginghouse, hotel or motel.
Fence means an enclosure or barrier as defined in the fencing ordinance used as a boundary, means of protection, privacy screening or confinement, but not including hedges, shrubs, trees or other natural growth.
Fence height means the vertical distance measured from the side of the fence that is exterior to the property or from the lowest adjacent ground level to the top of the fence material. In the case of wire fencing, height shall be measured by the width of the material used, however, when installed, the material is directly adjacent to the ground level.
Final development plan means a plan submitted for site plan review as required by this chapter for single-, two-family, multifamily, commercial, and industrial development proposals.
Floor area (for computing off-street parking requirements) means the gross floor area of the building measured from the exterior faces of the exterior walls or from the centerline of walls separating two buildings and shall include the following areas:
(1)
The basement floor area.
(2)
The area of each floor of the structure.
(3)
Attic space having headroom of seven feet ten inches or more.
Food store means an establishment where food and prepackaged beverages are sold on-site for consumption off-site. A limited amount of food preparation on-site may also be allowed, such as a delicatessen or bakery.
Food/bakery product manufacturing means a use engaged in the manufacture of food and food products, including non-retail bakeries, canning facilities and creameries.
Freight terminal means a building or area in which freight brought by truck, rail or air is processed for continued shipment by truck, rail or air.
Front means the boundary between a lot and the street on which it fronts. (For clarification of the front lot line location, see the definition of Corner.)
Frontage means the length of the property abutting on one side of a street measured along the dividing line between the property and the street.
Funeral home means an establishment engaged in preparing the human deceased for burial or cremation and arranging and managing funerals.
Garage means:
(1)
Public garage means a building or portion thereof, other than a private or repair garage, providing storage for motor vehicles, but no other services.
(2)
Privategarage means an accessory building or portion of a main building used for storage only of automobiles.
Gas and fuel sales/storage means the use of a site for bulk storage and distribution and sales of flammable liquid, gas or solid fuel, excluding below-ground storage that is clearly ancillary to an allowed principal use on the site.
Golf course means a facility providing private or public golf recreation services and support facilities. The term "golf course" shall exclude miniature golf courses and golf driving ranges except those that are clearly accessory uses. See Recreation and entertainment, outdoor.
Government service means buildings or facilities owned or operated by a government entity and providing services for the public, excluding utilities and park and recreation services. Typical uses include administrative offices of government agencies, and utility billing offices.
Grade means:
(1)
For buildings having walls facing one street only, the elevation of the sidewalk at the center of the wall facing the street shall be the grade.
(2)
For buildings having walls facing more than one street, the grade shall be the average of the grades (as defined in subsection (1) of this definition) of all walls facing each street.
(3)
For buildings having no wall facing a street, the average level of the finished surface of the ground adjacent to the exterior walls of the building shall be the grade.
Grain elevator means a tall building for storing grain.
Greenhouse, nursery means an establishment where flowers, trees, and other products that are commonly used as landscaping in and around buildings are grown and sold.
Gross leasable floor area means the total floor area designed for tenant occupancy and exclusive use, including basements, mezzanines, and upper floors, if any, expressed in square feet measured from the centerline of joint partitions and from the exterior surface of outside walls.
Ground floor (qualifying) means a ground floor of a building, new or existing, of a multifamily housing building, where the second story or basement starts more than six feet below or ten feet above the calculated curb or sidewalk level. In cases where the curb and sidewalk levels are not the same, the lesser elevation shall be used.
Ground floor dwelling unit means residential dwelling located in a vertical mixed-use structure/building on the ground floor in Central Business District Zoning District (B-2). Residential use dwelling units may not exceed 50 percent of the floor area and may not be located on the street frontage side of the building. See article III, section 46-148 for additional information.
Group home, general, means a residential home providing 24-hour care in a protected living environment for more than five persons with physical or mental disabilities and any number of caregivers.
Group home, limited, means a residential home providing 24-hour care in a protected environment for five or less unrelated persons with mental or physical disabilities; further, and pursuant to RSMo 89.020.2, such home may include two additional persons acting as house parents or guardians who need not be related to each other or to any of the mentally or physically handicapped persons residing in the home.
Group residential means the use of a site for occupancy by groups of more than five persons, not defined as a family, on a weekly or longer basis. Typical uses include fraternity or sorority houses, dormitories, residence halls, and boarding or lodginghouses. The term "group residential" does not include group homes.
Hard surfaced road means an all-weather surface improved with asphalt, concrete, asphaltic concrete or similar material designed to city street standards.
Hazardous operation means activities that present the potential for serious hazards to human life and health. Typical uses include arsenals, atomic reactors, explosives and fireworks manufacture, hazardous waste disposal, medical waste disposal and radioactive waste handling.
Hazardous substances means any substances or materials that, by reason of their toxic, caustic, corrosive, abrasive or otherwise injurious properties, may be detrimental or harmful to the health of any person handling or otherwise coming into contact with such material or substance.
Health club means a facility where members or nonmembers use equipment or space for the purpose of physical exercise.
Height of buildings and structures means the vertical distance from the average ground level abutting a building or structure to the highest point of a building or highest point of any permanent part of a structure other than a building. Height, where not regulated by feet, shall be regulated by stories and a story shall be equal to 12 feet for purposes of measuring structures other than buildings.
Heliport or helipad means an area, either on the ground or on a building, used as a landing pad for helicopters to pick up or discharge passengers or cargo.
Home occupation means a business, profession or trade conducted for gain or support entirely within a residential building; except that, day care may conduct recreation activities outdoors.
Homeless shelter. See temporary living shelter.
Hospital means an institution that:
(1)
Offers service more intensive than those required for room, board, personal services and general nursing care;
(2)
Offers facilities and beds for use beyond 24-hours by individuals requiring diagnosis, treatment, or care for illness, injury, deformity, infirmity, abnormality, disease, or pregnancy; and
(3)
Regularly makes available at least clinical laboratory services, diagnostic X-ray services, and treatment facilities for surgery or obstetrical care, or other definitive medical treatment of similar extent.
The term "hospitals" may include offices for medical and dental personnel, central service facilities such as pharmacies, medical laboratories and other related uses.
Hotel, motel, or tourist court means a structure which contains rooms furnished for the purposes of providing lodging, which may or may not also provide meals, entertainment or various other personal services to transient guests, and which is kept, used, maintained, advertised or held out to the public as a place where sleeping accommodations are sought for pay or compensation by transient guests for limited time periods, and not a boardinghouse as herein defined.
Institution means a building occupied by a nonprofit corporation or a nonprofit establishment for public use.
Interior means a lot whose side lines do not abut upon any street.
Interior setback means a required setback that does not front on a public street.
Kennel means any lot on which four or more adult dogs and cats, over the age of four months of age are kept.
Landfill means a disposal facility employing an engineered method of disposing of solid waste, including demolition and construction debris.
Laundry plant means an establishment that is primarily engaged in the large-scale washing or cleaning of laundry, rugs and similar materials. The term "laundry plant" does not include laundromats or dry cleaning pick-up stations.
Library means a publicly operated establishment housing a collection of books, magazines, audio and video tapes and other material for borrowing and use by the public.
Lot means a parcel of land occupied or to be occupied by one main building, or unit group of buildings, and the accessory buildings or uses customarily incidental thereto, including such open spaces as are required under this chapter, and having its principal frontage upon a public street. A lot, as used herein, may consist of one or more platted lots, or tracts as conveyed, or parts thereof.
FIGURE 1. LOT TYPES AND SETBACKS
Lot depth means the mean horizontal distance from the front street line to the rear line.
Lot line means the line bounding a lot.
Lot of record means a lot which is a part of a subdivision, the plat of which has been recorded in the office of the recorder of deeds or a lot described by metes and bounds, the description of which has been recorded in the office of the recorder of deeds prior to the adoption of this regulation.
Lot width means the horizontal distance between the side boundary lines of a property measured at the front building line.
Lot, zoning, means a parcel or tract of land used, developed or built upon as a unit under single ownership or control. The parcel of tract may consist of one or more lots of record, one or more portions of a lot or lots of record or any combination thereof.
Manufactured home means a structure which bears a seal indicating compliance with the federal manufactured home construction and safety standards established pursuant to 42 USC 5401, and constructed on or after June 15, 1976.
Manufactured home park means any area, piece, parcel, tract, or plot of ground equipped as required for support of manufactured homes and offered for use by the owner or representative for manufactured home park purposes or ground upon which three or more manufactured homes are parked, whether for compensation or not, including all accessory uses thereof. The term "manufactured home park" does not include sales lots of which unoccupied manufactured homes are parked for the purpose of inspection and sale.
Manufactured home (factory built home) residential design means a manufactured home which is designed with the same appearance of an on-site, conventionally built, single-family dwelling and satisfies the criteria established in article III of this chapter, use regulations.
FIGURE 2. MANUFACTURED HOME RESIDENTIAL DESIGN
Manufactured home sales means an establishment primarily engaged in the display and sale of manufactured housing units.
Manufacturing and assembly means establishments engaged in the manufacture, predominately from previously prepared materials, of finished products or parts, including processing, fabrication, assembly, treatment, and packaging of such products, and incidental storage, sales, and distribution of such products, but excluding basic industry.
Marijuana dispensary means a state licensed facility for the retail sale of medical marijuana and other recreational marijuana related products.
Massage shop means an establishment which has a fixed place of business having a source of income or compensation 60 percent or more of which is derived from the practice of any method of pressure on or friction against or stroking, kneading, rubbing, tapping, pounding, vibrating or stimulation of external parts of the human body with the hands or with the aid of any mechanical electric apparatus or appliances with or without such supplementary aids as rubbing alcohol, liniments, antiseptics, oils, powders, creams, lotion, ointment or other similar preparations commonly used in the practice of massage. Under such circumstances that it is reasonably expected that the person to whom the treatment is provided or some third person on his behalf will pay money or give any other consideration or gratuity; however, the term "massage shop" shall not include any establishment operated or supervised by a medical or chiropractic practitioner or professional physical therapist licensed by the state.
Materials recovery facility means a facility in which source separated co-mingled recyclable materials, such as newspapers, glass, metals and plastic containers, are stored, flattened, crushed or bundled prior to shipment to others who will use those materials to manufacture new products.
Medical service means an establishment providing therapeutic, preventive, or corrective personal treatment services on an outpatient basis by physicians, dentists, and other practitioners of the medical or healing arts, and the provision of medical testing and analysis services. Typical uses include clinics and offices for doctors of medicine, dentists, chiropractors, osteopaths, optometrists, blood banks and medical laboratories.
Military service means a facility used or intended to be used by a branch of the U.S. Armed Forces, including military reserves.
Mining or quarrying means the extraction of metallic and nonmetallic minerals, excluding oil or natural gas. Typical uses include sand and gravel pit operations, quarries and mines.
Mixed use building means a building that is used partly for residential use and partly for a commercial use and located in both the Central Business District (B-2) and Community Improvement District (CID) as adopted and identified by the city. The building shall maintain its existing façades as identified and defined in the city's adopted historic downtown design guidelines. When a building contains more than one use, the maximum floor area for the second floor or higher is 100 percent residential; the maximum floor area for the ground floor is 50 percent residential; and the maximum floor area for the basement floor is 100 percent residential.
Mobile food truck means a licensed motorized vehicle that includes a self contained or attached trailer kitchen in which food is prepared, processed, or stored and such vehicle is used to sell and dispense food to the general public.
Mobile food vending means an individual or business providing for the preparation and sale of food with the use of traveling cooking equipment used for vending. Approved equipment includes motorized food trucks, tow behind trailers, and cooking equipment that can be erected under a tent on a temporary basis.
Mobile home means a transportable, factory-built structure designed to be used as a single dwelling unit that was manufactured prior to June 15, 1976 and that does not bear a seal as provided by the Federal Manufactured Housing Construction and Safety Standards Act of 1974, 42 USC 5401 et seq.
Modeling studio means an establishment or business which provides for a fee or compensation the services of modeling on premises for the purpose of reproducing the human body wholly or partially in the nude by means of photography, painting, sketching, drawing or otherwise. This does not apply to public or private schools wherever persons are enrolled in a class.
Modular home means a manufactured residential structure built to a nationally-recognized and accepted construction standard published by the Building Officials & Code Administrators International, Inc. (BOCA) or the International Conference of Building Officials (ICBO) and the unit is inspected and certified at the factory that it meets the standard. A modular home shall have exterior structure materials and appearance similar to the customary single-family structures, as required of a manufactured home-residential design, and shall be permanently situated on a concrete foundation.
FIGURE 3. MODULAR HOME
Multifamily means a building or portion thereof, arranged, intended or designed for occupancy by three or more families on a rental or lease basis and commonly referred to as a triplex, four-plex or apartment building.
Multifamily residential means the use of a site for three or more dwelling units within a single building. Typical uses include triplexes, four-plexes, apartments and residential condominiums.
N/A means not applicable.
Nonconforming use, building or yard means a use, building or yard which does not, by reason of design, use, or dimensions, conform to the regulations of the district in which it is situated and existed as such on the date of the adoption of Ordinance No. 5270 (July 16, 1973) or any amendment thereto.
Non-ground floor dwelling units means residential dwelling located in a vertical mixed-use structure/building either above ground level or below the ground level floor. See article III, section 46-149 for additional information.
Office, general means an establishment providing executive, management, administrative or professional services, but not medical or dental services or the sale of merchandise, except as incidental to a permitted use. Typical uses include real estate, insurance, property management, investment, employment, travel, advertising, law, architecture, design, engineering, accounting and similar offices.
Oil or gas drilling/refining means the subsurface extraction or refining of oil or natural gas.
Parcel means a lot or contiguous group of lots in single ownership or under single control, usually considered a unit for purposes of development.
Parking lot, commercial means area used or intended to be used for off-street parking of operable motor vehicles on a temporary basis, other than as accessory parking to a principal use.
Parking area, off-street means an all-weather surfaced, (concrete, asphaltic concrete, or other comparable surface), enclosed or unenclosed for the short-term storage of automobiles.
Parking space means an area surfaced for all weather for the purpose of storing one parked automobile.
Parks and recreation means a park, playground or community facility, owned by or under the control of a public agency or homeowners' association, that provides opportunities for active or passive recreational activities.
Planning and zoning commission means the commission appointed by the city council to administer the planning and zoning regulations as stipulated by the city council and state law.
Post office means a facility used for the collection, sorting and distribution of mail among several zip code areas and having limited retail services for the public, such as the sale of stamps, postcards and postal insurance.
Preliminary development plan means a preliminary site plan that may be submitted at the option of the developer to the zoning administrator prior to submission of the final site plan.
Printing and publishing means the production of books, magazines, newspapers and other printed matter, and record pressing and publishing, engraving and photoengraving, but excluding businesses involved solely in retail photocopying, reproduction, photo developing or blueprinting services.
Rear means the boundary line which is opposite and most distant from the front street line; except that in the case of uncertainty the zoning administrator shall determine the rear line.
Recreation and entertainment, indoor, means an establishment offering recreation, entertainment or games of skill to the public for a fee or charge and that is wholly enclosed in a building. Typical uses include bowling alleys, indoor theaters, bingo parlors, pool halls, billiard parlors and video game arcades. The term "recreation and entertainment, indoor," does not include those uses considered as parks and recreation.
Recreation and entertainment, outdoor, means an establishment offering recreation, entertainment or games of skill to the public for a fee or charge, wherein any portion of the activity takes place in the open. Typical uses include archery ranges, batting cages, golf driving ranges, drive-in theaters and miniature golf courses. The term "recreation and entertainment, outdoor," does not include those uses considered as parks and recreation.
Recreational vehicle means any of the following vehicles which are licensed for travel on the highway: travel trailer (a vehicular, portable structure built on a chassis, designed to be used as a temporary dwelling for travel, recreation or vacation, or one permanently identified as a travel trailer by the manufacturer of the trailer); pick-up coach (a structure designed to be mounted on a truck chassis for use as a temporary dwelling for travel, recreation and vacation); motor-home (as a portable, temporary dwelling to be used for travel, recreation and vacation, constructed as an integral part of a self-propelled vehicle); and camping trailer (as a canvas, material or metal folding structure, mounted on wheels, and designed for travel, recreation and vacation use).
Recreational vehicle park means land used or intended to be used for occupancy by recreational vehicles for transient living purposes, including the use of camping spaces for tents.
Recycling collection center means a facility which is not larger than 1,000 square feet in size and is designed for the collection of aluminum and steel cans, glass, plastic containers, papers and other usable materials for their redistribution for sale or reutilization. The term "recycling collection center" does not include processing equipment or storage.
Recycling processing center means a facility designed for the purpose of collecting, redistributing and processing recyclable materials. Activities may include the receipt, separation, storage, conversion, bailing or processing of paper, iron, metal, glass, newspaper, and other non-biodegradable materials. Hazardous and biodegradable materials, as determined by the state department of natural resources, including, but not limited to, food, beverages, drugs, cosmetics, hazardous chemicals, poisons, medical wastes, syringes, needles, pesticides, and other similar materials, shall not be brought into or handled by a recycling processing center.
Religious assembly means a site used by a bona fide religious group primarily or exclusively for religious worship and related religious services, including a place of worship, retreat site or religious camp.
Repair means a building or portion thereof, designed or used for the storage, sale, hiring, care or repair of motor vehicles and which is operated for commercial purposes.
Repair service means an establishment primarily engaged in the provision of repair services to individuals and households, but excluding vehicle repair services. Typical uses include appliance repair shops.
Research service means an establishment engaged in conducting basic and applied research, including production of prototype products when limited to the minimum scale necessary for full investigation of the merits of a product, excluding production of products used primarily or customarily for sale or for use in non-prototype production operations.
Restaurant, fast food, means a use primarily engaged in the sale of food and non-alcoholic beverages in a ready-to-consume state and where the design or principal method of operation is that of a fast-food or drive-in restaurant offering quick food service, where orders are generally not taken at the customer's table, where food is generally served in disposable wrapping or containers, and where food and beverages may be served directly to the customer in a motor vehicle.
Restaurant, general, means a building wherein food is prepared and served in ready to eat form to the public for human consumption. The term "restaurant, general" shall include cafe, cafeteria, grill, pizza or chili parlor, diner, snack shop, hamburger shop and steak house.
Retail refers to the sale of commodities and services directly to customers, when such commodities and services are used or consumed by the customer and not purchased primarily for the purpose of resale.
Retail sales and service means an establishment engaged in the sale or rental of goods and services, including, but not limited to, antique shops, apparel and accessory stores, art and supply stores, bicycle shops, book and stationary stores, barber and beauty shops, candy and ice cream stores, cigar and tobacco stores, dressmakers and tailors, flower and gift shops, hobby shops, interior decorators, jewelry stores, key shops, leather goods and luggage stores, music instrument sales and repair, photocopying services, shoe repair and shoe shine stores, sporting and athletic goods, toy stores and department stores; excluding uses more specifically defined.
Safety service means a facility for conduct of public safety and emergency services, including fire and police protection services and emergency medical and ambulance services.
Salvage yard means a lot, land or structure, or part thereof, used primarily for the collecting, dismantling, storage and salvaging of machinery or vehicles that are not in operating condition; or for the sale of parts thereof. Typical uses include automobile salvage yards and junkyards.
School, elementary, middle or high means the use of a site for instructional purposes on an elementary or secondary level.
Screening means screening and enclosure required for permitted outdoor storage by means of a fence, wall or berm, in combination with landscaping, designed to create a minimum of 75 percent opacity. Crates, boxes, trailers or other temporary storage facilities shall not be considered appropriate screening materials.
Service floor area means the total floor area of a building exclusive of stairways, restrooms, storage rooms, hallways, or other areas which are not regularly used by visitors, clients, customers, patients, or patrons in their normal everyday use of the building.
Service station, automotive means a use primarily engaged in the retail sale of gasoline or other motor fuels primarily to automobiles and passenger vehicles, along with accessory activities such as the sale of lubricants, accessories, or supplies, the lubrication of motor vehicles, and the minor adjustment or repair of passenger motor vehicles. Uses involved primarily in the sale of diesel fuel, gasoline or other fuels to tractor trucks and uses that feature parking, storage or servicing of tractor trucks or semitrailers shall be classified as truck stop service stations.
Service station, truck stop means a use primarily engaged in the sale of diesel fuel, gasoline or other fuels to tractor trucks, along with accessory activities such as the sale of lubricants, accessories or supplies, or the servicing of tractor trucks or semitrailers. A truck stop service station may include, as an accessory use, the parking and storage of tractor trucks and semitrailers.
Setback means the distance that is required by this chapter to be maintained in an unobstructed state between a structure and the property line of the lot on which the structure is located.
Shipping containers also known as Conex, Sea-Land, Sea-Train, and Intermodal Containers shall be identified as shipping containers. Any prefabricated metal structure originally designed for the storage and shipping of freight or intermodal transport.
Shooting range means an outdoor facility used or intended to be used for the discharge of firearms at targets.
Short term rental housing means a residential dwelling unit permanently occupied by the owner wherein furnished rooms are held out to the public as a place where accommodations are sought for pay or compensation to transient guests for less than 30 continuous days.
Side means any lot boundary line not a front or rear line thereof, a side line may be a party lot line, a line bordering on an alley or place or a side street line.
Single-family means a detached building arranged, intended, or designed for occupancy by one family.
Sight triangle means an area at a street intersection in which nothing shall be erected, placed, planted, or allowed to grow in such a manner as to materially impede vision between a height of 2½ feet and eight feet above the grades of the outside edge of the street surface of the intersecting streets, measured from the point of intersection of the centerline of the streets, 90 feet in each direction along the centerline of the streets; except that, the city engineer may establish greater sight triangles based upon standards in the policy manual published by the American Association of State Highway and Transportation Officials (AASHTO).
FIGURE 4. SIGHT TRIANGLE MINIMUM STANDARDS
Sign means any words, numerals, figures, devices, designs or trademarks by which information is made known to the public outside a building.
Single-family residential, attached, means the use of a site for two or more dwelling units that are constructed with common or abutting walls and with each dwelling unit located on its own separate lot. Typical uses include townhouses and twin homes.
Single-family residential, detached, means the use of a lot for only one principal dwelling unit that is not connected to any other dwelling unit. The term "single-family residential, detached," includes manufactured homes-residential design and modular homes but shall exclude manufactured homes.
Small wireless facility means (i) an antenna of no more than six cubic feet in volume; and (ii) all other associated equipment, to the extent permitted by applicable law to be calculated, of cumulatively no more than 28 cubic feet in volume; provided no single piece of equipment on the utility pole shall exceed nine cubic feet in volume, and no single piece of ground mounted equipment shall exceed 15 cubic feet in volume.
Solid waste collection/processing means recycling collection centers, incinerators, processing facilities, materials recovery facilities, solid waste transfer stations or any facility where municipal solid wastes are salvaged, sorted, processed or treated.
Solid waste transfer station means a facility where solid waste or recyclable material is transferred from collection vehicles (some sorting may occur) to long distance hauling vehicles for transportation to a central solid waste management facility for processing, disposal, incineration or resource recovery.
Specified anatomical areas means any of the following:
(1)
Less than completely or opaquely covered human genitals, pubic region, buttocks, anus, or female breast area below a point immediately above the top of the areola; or
(2)
Human male genitals in a discernibly turgid state, even if completely and opaquely covered.
Specified sexual activities means any of the following:
(1)
Fondling or other erotic touching of human genitals, pubic region, buttocks, anus, or female breasts; or
(2)
Acts actual or simulated of sexual intercourse, masturbation, sodomy, or oral copulation; or
(3)
Excretory functions as part of or in connection with any of the activities set forth in subsections (1) and (2) of this definition.
Stable, commercial, means any building where horses, mules or ponies are sheltered, fed, or kept for hire.
Stable, private, means a detached accessory building for the keeping of horses, mules, or ponies owned by the occupants of the premises and not kept for remuneration, hire, or sale.
Stockyard means a non-farm-based facility used or intended to be used for selling or holding livestock.
Storage means a building or portion thereof, except those defined as a private, a repair or a community garage providing storage for motor vehicles, with facilities for washing but no other services.
Story means that part of a building included between the surface of one floor and the surface of the floor next above, or if there is no floor above, that part of the building which is between the surface of a floor and the ceiling next above. A top story attic is a half story when the main line of the eave is not above the middle of the interior height of such story. The first story is a half story when between 50 and 75 percent of the area of its exterior walls are exposed to outside light and air entirely above grade and which exterior walls contain windows or doors permitting the entrance of daylight and outside air.
Street means a right-of-way which affords principal means of vehicular access to property abutting thereon.
Street line means the dividing line between the street and the abutting property, also commonly known as the front property line.
Street network means:
(1)
Expressway means a street which provides fast and efficient movement of large volumes of traffic between areas and does not provide a land service function.
(2)
Arterial means a street which provides for through traffic movement between and around areas with direct access to abutting property, subject to necessary control of entrances, exits and curb uses.
(3)
Collector means a street which provides for traffic movement between arterials and local streets, with direct access to abutting property.
(4)
Local means a street which provides direct access to abutting land and local traffic movement whether in business, industrial, or residential areas.
Structural alterations means any change in the supporting members of a building, such as bearing walls, columns, beams or girders.
Structure means anything constructed or erected, which requires location on or in the ground, or attached to something having a location on the ground; including, but not limited to, signs, and excepting customary utility poles, retaining walls and boundary fences.
Studio, radio, television, film or music means an establishment primarily engaged in the provision of recording or broadcasting services accomplished through the use of electronic mechanisms.
Temporary living shelter means a building or facility that provides temporary, overnight housing for individuals that do not otherwise have a residence (home), or otherwise need those services.
Temporary use means a use which is only allowed for a specified period of time. Typical temporary uses include, but are not limited to, Christmas tree sales, garage sales, road stands, etc.
Through means an interior lot having frontage on two streets.
Total floor area means the square foot area of a building, including accessory buildings, measured from outside wall surfaces, and including garages, porches, utility rooms, stairways, recreation rooms, storage rooms, but excluding unroofed balconies and patios.
Tourist cabin: See definition of Hotel/motel.
Townhouse means a dwelling unit located in a group of three or more attached townhouse dwelling units with no other dwelling unit located above or below another and with each dwelling unit having at least one interior common wall and a private exterior entrance.
Townhouse site means a townhouse, the total land area beneath the townhouse and the facilities associated with the townhouse.
Townhouse structure means a grouping of three or more townhouses.
Transit facility means a facility used or intended to be used as an area for loading, unloading and interchange of transit passengers. Typical uses include bus terminals, rail stations and passenger related mass transit facilities.
Transitional living facility means a state licensed group-care home for juvenile delinquents, halfway houses providing residence, rehabilitation and counseling to persons on release from a more restrictive custodial confinement, and residential rehabilitation treatment centers which also may provide outpatient rehabilitation for alcohol and other drug abuse.
Twin home means the use of a site for two dwelling units that are constructed with common or abutting walls and with each dwelling unit located on its own separate lot. Twin homes are often created by subdividing a single duplex into two separate lots each of which contains one dwelling unit.
Two-family or duplex means a single building arranged, intended, or designed for occupancy by two families.
Used for includes arranged for, designed for, intended for, maintained for, and occupied for.
Utility, major, means generating plants; electrical switching facilities and primary substations; water and wastewater treatment plants; water tanks; and radio, television and microwave transmission towers; and similar facilities of agencies that are under public franchise or ownership to provide the public with electricity, gas, heat, steam, communication, rail transportation, water, sewage collection or other similar service. The term "utility, major" shall not be construed to include corporate or general offices; gas or oil processing; manufacturing facilities; postal facilities or other uses defined in this section.
Utility, minor means services and facilities of agencies that are under public franchise or ownership to provide services that are essential to support development and that involve only minor structures, such as poles and lines.
Variance means a variation from a specific requirement in this chapter, as applied to a specific piece of property, as distinct from rezoning.
Vehicle and equipment sales means an establishment engaged in the retail or wholesale sale or rental, from the premises, of motorized vehicles or equipment, along with incidental service or maintenance activities. Typical uses include new and used automobile and truck sales, automobile rental, boat sales, motorcycle sales, moving trailer rental, and farm equipment and machinery sales and rental.
Vehicle repair, general, means an establishment primarily engaged in painting of or bodywork to motor vehicles or heavy equipment. Typical uses include paint and body shops.
Vehicle repair, limited, means a use providing automobile repair or maintenance services within completely enclosed buildings, but not including general vehicle repair services.
Vehicle/equipment storage yard means an outdoor area used or intended to be used for long-term storage of vehicles and equipment, other than a commercial parking lot or accessory parking to a principal use.
Vertical mixed-use building means residential uses located above or below retail, commercial or office uses which are located on a ground floor. The added building height, density, and diversity of uses encourages pedestrian activity and provides housing choices close to goods and services for neighborhood residents.
Vocational school means a use providing education or training in business, commercial trades, language, arts or other similar activity or occupational pursuit, and not otherwise defined as a college or university or school.
Warehouse, residential storage, means an enclosed storage facility containing independent, fully enclosed bays that are leased to individuals exclusively for dead storage of their household goods or personal property.
Warehousing and wholesale means an establishment primarily engaged in the storage or sale of materials, equipment, or products or sale to wholesalers or retailers. Typical uses include cold storage, warehousing and dead storage facilities, but exclude residential storage warehouses and sale of goods to the general public.
Warming shelter. See temporary living shelter.
Welding or machine shop means a workshop where machines, machine parts, or other metal products are fabricated. Typical uses include machine shops, welding shops and sheet metal shops.
Work/live units (residential) means the residential use is accessory to the business or commercial use. Work/live units are permitted in the Central Business District (B-2) Zoning Districts and whose use is to encourage a business owner/operator to live in the same building. See article III, section 46-151 for additional information.
Yard means an open space at grade between a building and the adjoining lot lines, unoccupied and unobstructed by any portion of a structure from the ground upward, except as otherwise provided. In measuring a yard to determining the width of a side yard the depth of a front yard or the depth of a rear yard, the least horizontal distance between the lot line and the building shall be used.
(1)
Front means a yard across the full width of the lot extending from the front line of the main building to the front line of the lot.
(2)
Side means a yard between the main building and the adjacent side line of the lot, and extending entirely from a front yard to the rear yard.
(3)
Rear means a yard between the rear lot line and the rear line of the main building and the side lot lines.
Zone or district means a section of the zoning area for which uniform regulations governing the use, height, area, size, and intensity of use of structures, land, and open space are herein established.
Zoning administrator means the director of community development or other staff as designated by the city administrator.
Zoning area means the area to be zoned as set out on the official zoning map filed of record.
Zoning regulations means the lawfully adopted zoning ordinances of the city as codified in this chapter.
(Code 1987, app. A, § 4; Ord. No. 7365, § 1(part), 2-5-2001; Ord. No. 9120, § 1, 11-16-2015; Ord. No. 9496, § 1, 2-19-2019; Ord. No. 9505, § 1, 3-18-2019; Ord. No. 9506, § 1, 3-18-2019; Ord. No. 9507, § 1,3-18-2019; Ord. No. 9616, § 1, 8-17-2020; Ord. No. 9620, § 1, 9-8-2020; Ord. No. 9621, § 2, 9-8-2020; Ord. No. 9622, § 1, 9-8-2020; Ord. No. 9753, § 1, 4-17-2023; Ord. No. 9839, § 1, 8-19-2024; Ord. No. 9841, § 1, 10-7-2024)
(a)
The owner or agent of a structure or premises in or upon which a violation of any provision of this regulation has been committed or shall exist; or the lessee or tenant of an entire structure or entire premises in or upon which violation has been committed or shall exist; or the agent, architect, structure or premises in or upon which violation has been committed or shall exist, shall be punished by a fine of not less than $10.00 and not more than $100.00 for each and every day that such violation continues, but if the offense be willful on conviction thereof, the punishment shall be a fine of not less than $100.00 or more than $250.00 for each and every day such violation shall continue or by imprisonment for ten days for each and every day such violation shall continue or by both such fine and imprisonment in the discretion of the court.
(b)
In case any structure is erected, constructed, reconstructed, altered, repaired, converted or maintained, or any structure or land is used in violation of this regulation, the appropriate authorities, in addition to other remedies, may institute injunction, mandamus or other appropriate action or proceedings to prevent such unlawful erection, construction, reconstruction, alteration, conversion, maintenance of use, or to correct or abate such violation or to prevent the occupancy of the structure or land.
(Code 1987, app. A, § 88; Ord. No. 7365, § 1(part), 2-5-2001)
Unless otherwise specified, all distances provided in this chapter shall be measured horizontally.
(Code 1987, app. A, § 3)
The provisions of this chapter shall apply to all structures and land in the incorporated area of the city. The jurisdictional area within the corporate limits of the city shall be shown on the official zoning district map.
(Code 1987, app. A, § 5; Ord. No. 7365, § 1(part), 2-5-2001)
Where uncertainty exists with respect to the boundaries of the various districts as shown on the official zoning district maps, incorporated herein, the following rules apply:
(1)
The district boundaries are the centerlines of streets, alleys, waterways, and railroad rights-of-way, unless otherwise indicated; and where the designation of a boundary line on the zoning map coincides with the location of a street, alley, waterway, or railroad right-of-way, the centerline of such street, alley, waterway or railroad right-of-way shall be construed to be the boundary line of such district.
(2)
Where the district boundaries do not coincide with the location of streets, waterways, or railroad rights-of-way but do coincide with lot lines, such lot lines shall be construed to be the boundary of such district.
(3)
Where none of the above rules apply, the district boundaries shall be determined using the scale shown on the zoning map.
(Code 1987, app. A, § 8; Ord. No. 7365, § 1(part), 2-5-2001)
The following structures and uses shall be exempt from the provisions of this chapter:
(1)
Poles, wires, cables, conduits, vaults, laterals, pipes, mains, valves, or other similar equipment for the distribution to consumers of telephone or other communications, electricity, gas, or water, or the collection of sewage or surface water operated or maintained by a public utility but not including substations located on or above the surface of the ground;
(2)
Railroad tracks, signals, bridges, and similar facilities and equipment located on a railroad right-of-way, and maintenance and repair work on such facilities and equipment;
(3)
Agriculture as defined by this chapter. If any structure or land ceases to be used only for agriculture, then such structure or land shall be subject to the applicable regulations of this chapter;
(4)
Retaining walls on public property;
(5)
Public signs.
(Code 1987, app. A, § 9; Ord. No. 7365, § 1(part), 2-5-2001)
No structure or land shall be used or occupied, and no structure or part thereof shall be erected, constructed, reconstructed, moved, or structurally altered except in conformity with this chapter.
(Code 1987, app. A, § 10; Ord. No. 7365, § 1(part), 2-5-2001)
All land which may hereafter be annexed to the city shall be classified as N-1, Nonurban District, and so designated in the annexation ordinance.
(Code 1987, app. A, § 11; Ord. No. 7365, § 1(part), 2-5-2001)
The provisions specified for business uses in the overlay district within this section are intended to be only a summary of the requirements specified in the adopted zoning regulations for the city. If there are any questions regarding the following provisions, the applicable zoning regulations should be consulted. The following shall apply to a request a business use in the overlay district:
(1)
The applicant shall first meet with the zoning administrator to receive a complete explanation of the overlay district definitions and zoning requirements and to discuss the restrictions and limitations relating to the business use.
(2)
The applicant shall submit a completed permit application form and pay the appropriate application fee as established by the city council.
(3)
The zoning administrator shall review the submitted application with respect to the restrictions and limitations specified for home occupations in the zoning regulations to determine if the proposed business will comply with the restrictions and limitations.
(4)
If the zoning administrator determines that the business will comply with the restrictions and limitations specified by the zoning regulations, the applicant may then apply for a site plan review. Following the approval of the site plan, a business permit shall be issued. Issuance of a business permit within the overlay district shall be subject to continued compliance with the restrictions and limitations as specified in the zoning regulations. Noncompliance with any restriction and limitation shall cause the business permit to automatically become null and void.
(5)
Approval or denial of a business permit shall be based on the adopted standards in the city zoning regulation.
(Code 1987, app. A, § 13-1; Ord. No. 7854, § 1, 10-17-2005)
Legal lots of record platted prior to July 16, 1973, shall be required to meet yard area requirements as established by the pattern of development in the block or immediate residential environs.
(Code 1987, app. A, § 14; Ord. No. 7365, § 1(part), 2-5-2001)