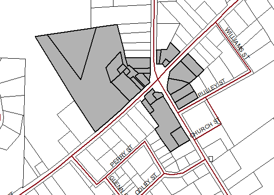
- OVERLAY DISTRICT STANDARDS
The following District shall be responsible for maintaining the character and aesthetic qualities of the commercial town center of Rolesville. The following standards shall be enforced for any construction, reconstruction, alteration, or enlargement of the exterior of any structure within this district (see Figure 1).
7.4.1
No building shall have a footprint of more than 15,000 square feet (note: total building size may be larger if the structure is built with multiple stories).
7.4.2
The maximum allowable building height shall be 35 feet.
7.4.3
Additional building height may be permitted at a rate of one foot in height for every one foot of additional setback from the front building line for any portion of the building that is greater than 35 [feet] in height. However, in no event shall any structure be more than 45 feet in height.
7.4.4
Each building must have a height of at least 15 feet. All buildings are strongly encouraged to have at least two stories.
7.4.5
The maximum allowable height for any steeple or decorative tower shall be 75 feet which shall be measured from the ground to the top of the structure.
7.4.6
All buildings must be oriented toward the primary access street.
7.4.7
Except when preexisting recorded utility easements or other such instruments preclude strict adherence to such, buildings shall be built within the following range of distances from the edge of the right-of-way of the primary access street:
(A)
Commercial and mixed use buildings: Zero — five feet
(B)
Community facilities and institutional buildings: five - 15 feet
(C)
Religious and residential buildings: ten - 25 feet
So as to maintain harmony with other development in the district, and only in cases where the standards above cannot be met, these requirements may be adjusted by the Zoning Administrator only to the least amount necessary to accommodate the preexisting condition. Adjustments of more than ten feet above or below the adopted range shall be subject to the approval of a variance by the Board of Adjustment.
7.4.8
Parallel on-street parking is strongly encouraged. Shared parking is encouraged.
7.4.9
All off-street parking shall be located behind or to the side of buildings. Parking and access shall not occupy more than one-third of the frontage of the adjacent building or no more than 65 feet, whichever is less.
7.4.10
The neighborhood and community-oriented commercial and civic uses permitted are (but not limited to) retail services such as apparel shops, shoe stores, gift shops, video stores, news dealers, book stores and antique shops; personal services such as barber shops and beauty shops; clothing services such as dry cleaners, shoe repair, fabric shops, and tailoring; food sales and service such as bakeries, convenience stores, grocery stores, restaurants, delicatessens, and ice cream shops; banks, professional offices, and medical offices; educational uses such as schools, public libraries, and day care centers; governmental, civic, and institutional uses such as post offices, police and fire stations, community centers, and houses of worship; retirement centers, independent and assisted living facilities, and skilled nursing facilities.
7.4.11
All residential uses allowed in the UDO are hereby permitted.
7.4.12
Live-work units are allowed as of right.
7.4.13
Commercial buildings are encouraged to mix uses by providing retail and/or office uses on the ground floor, and office and/or residential uses on upper floors.
7.4.14
All materials, colors, and architectural details used on the exterior of a building shall be compatible with each other and with the building's style.
7.4.15
Façades visible from existing or proposed public rights of way shall be brick but may contain accent elements of stucco, textured tinted concrete block, tile, native stone, columns and/or canvas canopies. The primary façade material used in construction shall compose, as a minimum, 75 percent of the non-glass wall surface.
7.4.16
All façade colors shall be of low reflectance, subtle, neutral, or earth tone colors. The use of high intensity colors, metallic colors, black or fluorescent colors, is prohibited. High intensity whites used for the façade shall be prohibited unless low reflecting, subtle, neutral or earth tone trim is used. Building trim and accent areas may feature brighter colors, including primary colors. However, neon tubing shall not be used for building trim or accent elements. Roof colors shall be of low reflectance and non-metallic.
7.4.17
Buildings with multiple storefronts shall be unified through the use of architecturally compatible materials, colors, details, awnings, signage, and lighting fixtures.
7.4.18
Windows, doors, display windows and/or arcades shall make up at least 40 percent of the street façade on the first story as measured from two feet above grade to ten feet above grade. Blank walls are not permitted adjacent to streets.
7.4.19
Any wall visible from an existing or proposed public right of way shall incorporate at a minimum two architectural accent elements of doors, windows, columns, pre-cast trim, color changes, texture changes, recesses and/or material changes such as wood, brickwork, stucco, tile, and/or canvas canopies. Ten contiguous linear feet of wall shall be the maximum length without an architectural accent element.
7.4.20
Windows shall be recessed and shall include visually prominent sills, shutters, or other such forms of framing and trim.
7.4.21
Fixed or retractable awnings are permitted at ground floor level and on upper floors where appropriate, if they complement a building's architectural style, materials, colors, and details, and are designed to be an integral part of the façade.
7.4.22
Lighting fixtures attached to the exterior of a building shall be architecturally compatible with the style, materials, colors, and details of the building, and shall comply with building codes.
7.4.23
Façades shall be lit from the exterior, and as a general rule, lights should be concealed through shielding or recessed behind architectural features.
7.4.24
The use of low pressure sodium, fluorescent, or mercury vapor lighting either attached to buildings or to light the exterior of buildings shall be prohibited.
7.4.25
All air conditioning units, HVAC systems, exhaust pipes and stacks, elevator housing, telecommunications towers, satellite dishes, and other telecommunications receiving devices shall be thoroughly screened from view from the public right-of-way and from adjacent properties by using walls, fencing, roof elements, penthouse-type screening devices, or landscaping.
7.4.26
Each building shall have a sidewalk along its primary access road. To ensure safe and comfortable pedestrian access, this sidewalk shall have a minimum width of at least six feet that is unobstructed by lampposts, tree wells, signs, tables, chairs, benches, fire hydrants, trash cans, or other obstacles.
7.4.27
All sidewalks shall be buffered from the adjacent street by means of a six foot wide grassy strip. Where on-street parking is provided, this requirement may be reduced or waived at the discretion of the Zoning Administrator.
7.4.28
At least one main entrance of each building shall face and open directly onto this sidewalk, and shall have doors that are operable during regular business hours.
7.4.29
All commercial and mixed use buildings shall have a first story that is at grade with the adjacent sidewalk.
7.4.30
Dumpsters, where used, shall be located entirely on the subject property and shall be screened from the view of passing motorists and pedestrians, and from adjacent lot. Acceptable screening materials include decorative masonry, brick, fully opaque treated wood, or stone. The service entrance of the dumpster enclosure shall be opaque and may be made of wood.
7.4.31
The area designated as the Town Center Overlay District shall originate at the intersections of Main and Young Streets and shall be according to the boundaries displayed in this section in Figure 1 below.
To establish requirements for development within the Neighborhood Conservation (NC) Overlay District. The intent is to protect the historic nature and character of the residential structures while allowing minimal intensity uses of a non-residential nature.
(A)
Uses permitted by right.
(1)
Single family residential
(2)
Duplex residential
(3)
Home occupations
(4)
Temporary uses
(B)
Uses permitted by a special use permit approved by the Board of Commissioners pursuant to Section 3.6 and Article 8.
(1)
Office, professional, and government
(2)
Bed and breakfast facilities
(3)
Child daycare facilities
(4)
Cultural or Community facility
Standards established for the NC District are intended to protect adjacent residential areas and, where applicable, to protect or enhance the residential use and residential character of the NC District itself.
The following standards shall be supplemental to any other standards in the UDO and shall apply to all new residential and non-residential development and substantial modifications to existing structures intended for residential and non-residential uses. For the purpose of this section, substantial modifications shall be defined as any work that involves the alteration of the building's footprint, construction of additional stories or accessory structures, parking in excess of or different in character from typical residential parking, or changes in roof pitch.
(a)
Standards for new and/or modified residential and non-residential structures:
(1)
Appearance: New principal and accessory structures shall be predominantly designed and constructed with a residential style using features common on residential. Residential style features to be considered include roof pitch, façade materials, and size, type and placement of windows and doors.
(2)
Materials: Acceptable façade materials include wood, brick, stone, stucco, vinyl and "hardi-plank" of fiberglass and cement. The materials used should give the exterior a residential appearance. Metal siding and concrete block shall not be used as exterior, finish material.
(3)
Roof pitch: Expansions to an existing building shall have a roof pitch equal to or exceeding that of the existing principal structure's main roof. Roofs without pitch, i.e., flat roofs, shall not be used for principal structures. For new principal structures, the minimum acceptable roof pitch is four inches of height for each 12 inches of length.
(4)
Windows and doors: Window and door placement, type and size shall be consistent with that normally found on residential structures.
(b)
Standards for new and/or modified non-residential structures only:
(1)
Accessory uses: Accessory uses clearly subordinate to the principal use of the property and located entirely within an enclosed structure shall be permitted. Outdoor storage of goods and materials is not permitted.
(2)
Adaptive reuse: The reuse of residential structures for non-residential uses is encouraged.
(3)
Parking: Parking shall be limited to the side and rear of the principal structure, outside of required buffers. The Town Board of Commissioners may allow off-street handicap parking to be located in the front yard under special circumstances considering the existing means of ingress and egress with the principal structure.
(4)
Buffers: Whenever a new non-residential use is proposed for a lot adjacent to a residentially zoned lot that contains a principal residential use, and such use may result in a traffic and/or parking pattern not typical of residential uses, then the new use shall screen all driveways and parking areas from the view of adjacent residential uses. Acceptable buffers shall be "Type A," as defined in Section 14.6. Full opaque fencing, with a minimum height of six feet, shall be erected around the entire perimeter of the outdoor playspace for child daycare facilities.
(5)
Building size: No single building or a combination of buildings on a single parcel shall exceed 5,000 square feet of heated floor space. Total unheated ground level floor space, including accessory buildings, shall not exceed 1,000 square feet.
(6)
Dumpsters: Dumpsters, where used, shall be located entirely on the subject property and shall be screened from the view of passing motorists and pedestrians, and from adjacent lots, as specified in Section 14.9. Acceptable screening materials include decorative masonry, brick, and stone. Three sides of the dumpster's enclosure, in terms of appearance, texture, and quality, shall be made of the same compatible material and color as the principal building on the lot. The service entrance of the dumpster enclosure shall be opaque and may be made of wood.
(7)
Lighting: Exterior lighting shall be kept to a minimum to ensure safe access to the property. All exterior lighting shall be arranged so that it does not spill over onto adjacent properties.
(8)
Noise: No exterior loud speakers are permitted.
(9)
Front yard: Prohibited from the front yard are merchandise display, accessory structures, and loading areas.
(10)
Signs: Signs may be monument or wall type. Signage shall be limited to one per principal structure, to be displayed on the front yard, off the right-of-way, except for wall signs. Lighting of signs is limited to ground based fixtures. Lighting may not spill over the edges of the sign.
(a)
Monument signs are limited to 12 square feet of signage space, and to four feet in height.
(b)
Wall signs shall be no larger than two square feet.
(11)
Exterior Paint: Exterior paint and paint color of backgrounds of signs shall be limited to selected paint manufacturer's recommendations for historic areas.
(12)
The above restrictions are in addition to all other requirements and restriction in this ordinance.
(13)
No accessory building (except an existing well house), recreational structure, and/or use may extend in front of the rear line of the primary structure.
7.2.1.1
Statutory Authorization The Legislature of the State of North Carolina has in Part 6, Article 21 of Chapter 143; Parts 3, 5, and 8 of Article 19 of Chapter 160A; and Article 8 of Chapter 160A of the North Carolina General Statutes, delegated to local governmental units the responsibility to adopt regulations designed to promote the public health, safety, and general welfare of its citizenry.
Therefore, the Board of Commissioners of the Town of Rolesville, North Carolina, does ordain as follows:
7.2.1.2
Findings of Fact The flood prone areas within the jurisdiction of the Town of Rolesville are subject to periodic inundation which results in loss of life, property, health and safety hazards, disruption of commerce and governmental services, extraordinary public expenditures of flood protection and relief, and impairment of the tax base, all of which adversely affect the public health, safety, and general welfare. These flood losses are caused by the cumulative effect of obstructions in floodplains causing increases in flood heights and velocities and by the occupancy in flood prone areas of uses vulnerable to floods or other hazards.
7.2.1.3
Statement of Purpose. It is the purpose of this ordinance to promote public health, safety, and general welfare and to minimize public and private losses due to flood conditions within flood prone areas by provisions designed to:
1.
Restrict or prohibit uses that are dangerous to health, safety, and property due to water or erosion hazards or that result in damaging increases in erosion, flood heights or velocities;
2.
Require that uses vulnerable to floods, including facilities that serve such uses, be protected against flood damage at the time of initial construction;
3.
Control the alteration of natural floodplains, stream channels, and natural protective barriers, which are involved in the accommodation of floodwaters;
4.
Control filling, grading, dredging, and all other development that may increase erosion or flood damage; and
5.
Prevent or regulate the construction of flood barriers that will unnaturally divert flood waters or which may increase flood hazards to other lands.
7.2.1.4
Objectives The objectives of this ordinance are:
1.
To protect human life and health;
2.
To minimize expenditure of public money for costly flood control projects;
3.
To minimize the need for rescue and relief efforts associated with flooding and generally undertaken at the expense of the general public;
4.
To minimize prolonged business losses and interruptions;
5.
To minimize damage to public facilities and utilities (i.e. water and gas mains, electric, telephone, cable and sewer lines, streets, and bridges) that are located in flood prone areas;
6.
To help maintain a stable tax base by providing for the sound use and development of flood prone areas; and
7.
To ensure that potential buyers are aware that property is in a Special Flood Hazard Area or Future Conditions Flood Hazard Area.
Unless specifically defined below, words or phrases used in this ordinance shall be interpreted so as to give them the meaning they have in common usage and to give this ordinance its most reasonable application.
Accessory Structure (Appurtenant Structure) means a structure located on the same parcel of property as the principal structure and the use of which is incidental to the use of the principal structure. Garages, carports and storage sheds are common urban accessory structures. Pole barns, hay sheds and the like qualify as accessory structures on farms, and may or may not be located on the same parcel as the farm dwelling or shop building.
Addition (to an existing building) means an extension or increase in the floor area or height of a building or structure.
Appeal means a request for a review of the floodplain administrator's interpretation of any provision of this ordinance.
Area of Special Flood Hazard. See "Special Flood Hazard Area (SFHA)."
Basement means any area of the building having its floor subgrade (below ground level) on all sides.
Base Flood means the flood having a one percent chance of being equaled or exceeded in any given year based on current conditions hydrology.
Base Flood Elevation (BFE) means a determination of the water surface elevations of the base flood based on current conditions hydrology as published in the Flood Insurance Study. When the BFE has not been provided in a "Special Flood Hazard Area", it may be obtained from engineering studies available from a Federal or State other source using FEMA approved engineering methodologies. This elevation, when combined with the "Freeboard", establishes the "Regulatory Flood Protection Elevation" in Special Flood Hazard Areas.
Building. See "Structure."
Chemical Storage Facility means a building, portion of a building, or exterior area adjacent to a building used for the storage of any chemical or chemically reactive products.
Current Conditions Hydrology means the flood discharges associated with the land-use conditions existing within the drainage area of a watercourse at the time a flood study of the watercourse was conducted. Current conditions flood discharges and historical flood study information are published in the Flood Insurance Study.
Development means any man-made change to improved or unimproved real estate, including, but not limited to, buildings or other structures, mining, dredging, filling, grading, paving, excavation or drilling operations, or storage of equipment or materials.
Disposal means, as defined in NCGS 130A-290(a)(6), the discharge, deposit, injection, dumping, spilling, leaking, or placing of any solid waste into or on any land or water so that the solid waste or any constituent part of the solid waste may enter the environment or be emitted into the air or discharged into any waters, including groundwaters.
Elevated Building means a non-basement building which has its lowest elevated floor raised above ground level by foundation walls, shear walls, posts, piers, pilings, or columns.
Encroachment means the advance or infringement of uses, fill, excavation, buildings, permanent structures or development into a floodplain, which may impede or alter the flow capacity of a floodplain.
Existing Manufactured Home Park or Manufactured Home Subdivision means a manufactured home park or subdivision for which the construction of facilities for servicing the lots on which the manufactured homes are to be affixed (including, at a minimum, the installation of utilities, the construction of streets, and either final site grading or the pouring of concrete pads) was completed before the original effective date of the floodplain management regulations adopted by the community.
Flood or Flooding means a general and temporary condition of partial or complete inundation of normally dry land areas from either the overflow of inland or tidal waters; and/or the unusual and rapid accumulation of runoff of surface waters from any source.
Flood Hazard Boundary Map (FHBM) means an official map of a community, issued by the Federal Emergency Management Agency, where the boundaries of the Special Flood Hazard Areas have been defined as Zone A.
Flood Insurance means the insurance coverage provided under the National Flood Insurance Program.
Flood Insurance Rate Map (FIRM) means an official map of a community, issued by the Federal Emergency Management Agency, on which the Special Flood Hazard Areas, the Future Conditions Flood Hazard Areas, and the risk premium zones applicable to the community are delineated.
Flood Insurance Study (FIS) means an examination, evaluation, and determination of flood hazards, corresponding water surface elevations (if appropriate), flood hazard risk zones, and other flood data in a community issued by the Federal Emergency Management Agency. The Flood Insurance Study report includes Flood Insurance Rate Maps (FIRMs) and Flood Boundary and Floodway Maps (FBFMs), if published.
Flood Prone Area. See "Floodplain."
Floodplain means any land area susceptible to being inundated by water from any source.
Floodplain Administrator is the individual appointed to administer and enforce the floodplain management regulations.
Floodplain Development Permit means any type of permit that is required in conformance with the provisions of this ordinance, prior to the commencement of any development activity.
Floodplain Management means the operation of an overall program of corrective and preventive measures for reducing flood damage and preserving and enhancing, where possible, natural resources in the floodplain, including, but not limited to, emergency preparedness plans, flood control works, floodplain management regulations, and open space plans.
Floodplain Management Regulations means this ordinance and other zoning ordinances, subdivision regulations, building codes, health regulations, special purpose ordinances, and other applications of police power which control development in flood-prone areas. This term describes federal, state or local regulations, in any combination thereof, which provide standards for preventing and reducing flood loss and damage.
Floodproofing means any combination of structural and nonstructural additions, changes, or adjustments to structures, which reduce or eliminate flood damage to real estate or improved real property, water and sanitation facilities, structures, and their contents.
Floodway means the channel of a river or other watercourse and the adjacent land areas that must be reserved in order to discharge the base flood without cumulatively increasing the water surface elevation more than one foot.
Flood Zone means a geographical area shown on a Flood Hazard Boundary Map or Flood Insurance Rate Map that reflects the severity or type of flooding in the area.
Freeboard means the height added to the Base Flood Elevation (BFE) or the Future Conditions Flood Elevation to account for the many unknown factors that could contribute to flood heights greater that the height calculated for a selected size flood and floodway conditions, such as wave action, bridge openings, and the hydrological effect of urbanization on the watershed. The Base Flood Elevation plus the freeboard establishes the "Regulatory Flood Protection Elevation".
Future Conditions Flood means the flood having a one percent chance of being equaled or exceeded in any given year based on future conditions hydrology.
Future Conditions Flood Elevation means a determination of the water surface elevations of the one percent annual chance flood based on future conditions hydrology as published in the Flood Insurance Study. This elevation, when combined with the freeboard, establishes the "Regulatory Flood Protection Elevation" in Future Conditions Flood Hazard Areas.
Future Conditions Flood Hazard Area means the land area that would be inundated by the one percent annual chance flood based on future conditions hydrology as determined in 7.2.3 of this ordinance.
Future Conditions Hydrology means the flood discharges associated with projected land-use conditions based on the Wake County's June 2003 Countywide Equivalent Zoning Classification data and Town of Rolesville Zoning Map and Community Plan and without consideration of projected future construction of flood detention structures or projected future hydraulic modifications within a stream or other waterway such as bridge and culvert construction, fill, and excavation. Future conditions flood discharges are published in the Flood Insurance Study.
Functionally Dependent Facility means a facility which cannot be used for its intended purpose unless it is located in close proximity to water, such as a docking or port facility necessary for the loading and unloading of cargo or passengers, shipbuilding, or ship repair. The term does not include long-term storage, manufacture, sales, or service facilities.
Hazardous Waste Facility means, as defined in NCGS Article 9 of Chapter 130A, a facility for the collection, storage, processing, treatment, recycling, recovery, or disposal of hazardous waste.
Highest Adjacent Grade (HAG) means the highest natural elevation of the ground surface, prior to construction, immediately next to the proposed walls of the structure.
Historic Structure means any structure that is:
(a)
Listed individually in the National Register of Historic Places (a listing maintained by the US Department of Interior) or preliminarily determined by the Secretary of Interior as meeting the requirements for individual listing on the National Register;
(b)
Certified or preliminarily determined by the Secretary of Interior as contributing to the historical significance of a registered historic district or a district preliminarily determined by the Secretary to qualify as a registered historic district;
(c)
Individually listed on a local inventory of historic landmarks in communities with a "Certified Local Government (CLG) Program"; or
(d)
Certified as contributing to the historical significance of a historic district designated by a community with a "Certified Local Government (CLG) Program."
Note: Certified Local Government (CLG) Programs are approved by the US Department of the Interior in cooperation with the North Carolina Department of Cultural Resources through the State Historic Preservation Officer as having met the requirements of the National Historic Preservation Act of 1966 as amended in 1980.
Lowest Adjacent Grade (LAG) means the elevation of the ground, sidewalk or patio slab immediately next to the building, or deck support, after completion of the building.
Lowest Floor means lowest floor of the lowest enclosed area (including basement). An unfinished or flood resistant enclosure, usable solely for parking of vehicles, building access, or limited storage in an area other than a basement area is not considered a building's lowest floor, provided that such an enclosure is not built so as to render the structure in violation of the applicable non-elevation design requirements of this ordinance.
Manufactured Home means a structure, transportable in one or more sections, which is built on a permanent chassis and designed to be used with or without a permanent foundation when connected to the required utilities. The term "manufactured home" does not include a "recreational vehicle".
Manufactured Home Park or Subdivision means a parcel (or contiguous parcels) of land divided into two or more manufactured home lots for rent or sale.
Market Value means the building value, not including the land value and that of any accessory structures or other improvements on the lot. Market value may be established by independent certified appraisal; replacement cost depreciated for age of building and quality of construction (Actual Cash Value); or adjusted tax assessed values.
Mean Sea Level means, for purposes of this ordinance, the National Geodetic Vertical Datum (NGVD) as corrected in 1929, the North American Vertical Datum (NAVD) as corrected in 1988, or other vertical control datum used as a reference for establishing varying elevations within the floodplain, to which Base Flood Elevations (BFEs) shown on a FIRM are referenced. Refer to each FIRM panel to determine datum used.
New Construction means structures for which the "start of construction" commenced on or after the effective date of the original version of the community's Flood Damage Prevention Ordinance and includes any subsequent improvements to such structures.
Non-Encroachment Area means the channel of a river or other watercourse and the adjacent land areas that must be reserved in order to discharge the base flood without cumulatively increasing the water surface elevation more than one foot as designated in the Flood Insurance Study report.
Post-FIRM means construction or other development for which the "start of construction" occurred on or after the effective date of the initial Flood Insurance Rate Map for the area.
Pre-FIRM means construction or other development for which the "start of construction" occurred before the effective date of the initial Flood Insurance Rate Map for the area.
Principally Above Ground means that at least 51 percent of the actual cash value of the structure is above ground.
Public Safety and/or Nuisance means anything which is injurious to the safety or health of an entire community or neighborhood, or any considerable number of persons, or unlawfully obstructs the free passage or use, in the customary manner, of any navigable lake, or river, bay, stream, canal, or basin.
Recreational Vehicle (RV) means a vehicle, which is:
1.
Built on a single chassis;
2.
Four hundred square feet or less when measured at the largest horizontal projection;
3.
Designed to be self-propelled or permanently towable by a light duty truck; and
4.
Designed primarily not for use as a permanent dwelling, but as temporary living quarters for recreational, camping, travel, or seasonal use.
Reference Level is the top of the lowest floor for structures within Special Flood Hazard Areas and Future Conditions Flood Hazard Areas designated as Zone AE, A, A99 or X (Future).
Regulatory Flood Protection Elevation means the elevation above mean sea level to which the reference level of all structures and other development located within Special Flood Hazard Areas and Future Conditions Flood Hazard Areas must be protected.
1.
In "Special Flood Hazard Areas" where Base Flood Elevations (BFEs) have been determined, this elevation shall be the BFE plus two feet of freeboard.
2.
In "Special Flood Hazard Areas" where no BFE has been established, this elevation shall be at least two feet above the highest adjacent grade.
3.
In Future Conditions Flood Hazard Areas this elevation shall be the Future Conditions Flood Elevation plus two feet of freeboard.
Remedy a Violation means to bring the structure or other development into compliance with State and community floodplain management regulations, or, if this is not possible, to reduce the impacts of its noncompliance. Ways that impacts may be reduced include protecting the structure or other affected development from flood damages, implementing the enforcement provisions of the ordinance or otherwise deterring future similar violations, or reducing Federal financial exposure with regard to the structure or other development.
Riverine means relating to, formed by, or resembling a river (including tributaries), stream, brook, etc.
Salvage Yard means any non-residential property used for the storage, collection, and/or recycling of any type of equipment, and including but not limited to vehicles, appliances and related machinery.
Solid Waste Disposal Facility means, as defined in NCGS 130A-290(a)(35), any facility involved in the disposal of solid waste.
Solid Waste Disposal Site means, as defined in (NCGS 130A-290(a)(36), any place at which solid wastes are disposed of by incineration, sanitary landfill, or any other method.
Special Flood Hazard Area (SFHA) means the land in the floodplain subject to a one percent or greater chance of being flooded in any given year based on current conditions hydrology, as determined in 7.2.3.2 of this ordinance.
Start of Construction includes substantial improvement, and means the date the building permit was issued, provided the actual start of construction, repair, reconstruction, rehabilitation, addition placement, or other improvement was within 180 days of the permit date. The actual start means either the first placement of permanent construction of a structure on a site, such as the pouring of slab or footings, the installation of piles, the construction of columns, or any work beyond the stage of excavation; or the placement of a manufactured home on a foundation. Permanent construction does not include land preparation, such as clearing, grading, and filling; nor does it include the installation of streets and/or walkways; nor does it include excavation for a basement, footings, piers, or foundations or the erection of temporary forms; nor does it include the installation on the property of accessory buildings, such as garages or sheds not occupied as dwelling units or not part of the main structure. For a substantial improvement, the actual start of construction means the first alteration of any wall, ceiling, floor, or other structural part of the building, whether or not that alteration affects the external dimensions of the building.
Structure means a walled and roofed building, a manufactured home, or a gas, liquid, or liquefied gas storage tank that is principally above ground.
Substantial Damage means damage of any origin sustained by a structure during any one-year period whereby the cost of restoring the structure to its before damaged condition would equal or exceed 50 percent of the market value of the structure before the damage occurred. See definition of "substantial improvement". Substantial damage also means flood-related damage sustained by a structure on two separate occasions during a ten-year period for which the cost of repairs at the time of each such flood event, on the average, equals or exceeds 25 percent of the market value of the structure before the damage occurred.
Substantial Improvement means any combination of repairs, reconstruction, rehabilitation, addition, or other improvement of a structure, taking place during any one-year period for which the cost equals or exceeds 50 percent of the market value of the structure before the "start of construction" of the improvement. This term includes structures which have incurred "substantial damage", regardless of the actual repair work performed. The term does not, however, include either:
1.
Any correction of existing violations of State or community health, sanitary, or safety code specifications which have been identified by the community code enforcement official and which are the minimum necessary to assure safe living conditions; or,
2.
Any alteration of a historic structure, provided that the alteration will not preclude the structure's continued designation as a historic structure.
Variance is a grant of relief from the requirements of this ordinance.
Violation means the failure of a structure or other development to be fully compliant with the community's floodplain management regulations. A structure or other development without the elevation certificate, other certifications, or other evidence of compliance required in 7.2.4 and 7.2.5 is presumed to be in violation until such time as that documentation is provided.
Water Surface Elevation (WSE) means the height, in relation to mean sea level, of floods of various magnitudes and frequencies in the floodplains of coastal or riverine areas.
Watercourse means a lake, river, creek, stream, wash, channel or other topographic feature on or over which waters flow at least periodically. Watercourse includes specifically designated areas in which substantial flood damage may occur.
7.2.3.1
Lands to which this ordinance applies This ordinance shall apply to all Special Flood Hazard Areas and Future Conditions Flood Hazard Areas within the jurisdiction, including Extra-Territorial Jurisdictions (ETJs), of the Town of Rolesville and within the jurisdiction of any other community whose governing body agrees, by resolution, to such applicability.
7.2.3.2
Basis for establishing the Special Flood Hazard Areas and Future Conditions Flood Hazard Areas The Special Flood Hazard Areas and Future Conditions Flood Hazard Areas are those identified under the Cooperating Technical State (CTS) agreement between the State of North Carolina and FEMA in its Flood Insurance Study (FIS) and its accompanying Flood Insurance Rate Maps (FIRM) dated May 2, 2006, for Wake County which are adopted by reference and declared to be a part of this ordinance.
7.2.3.3
Establishment of Floodplain Development Permit A Floodplain Development Permit shall be required in conformance with the provisions of this ordinance prior to the commencement of any development activities within Special Flood Hazard Areas and Future Conditions Flood Hazard Areas determined in accordance with 7.2.3, Section B of this ordinance.
7.2.3.4
Compliance No structure or land shall hereafter be located, extended, converted, altered, or developed in any way without full compliance with the terms of this ordinance and other applicable regulations.
7.2.3.5
Abrogation and greater restrictions This ordinance is not intended to repeal, abrogate, or impair any existing easements, covenants, or deed restrictions. However, where this ordinance and another conflict or overlap, whichever imposes the more stringent restrictions shall prevail.
7.2.3.6
Interpretation In the interpretation and application of this ordinance, all provisions shall be considered as minimum requirements, liberally construed in favor of the governing body; and deemed neither to limit nor repeal any other powers granted under State statutes.
7.2.3.7
Warning and disclaimer of liability The degree of flood protection required by this ordinance is considered reasonable for regulatory purposes and is based on scientific and engineering consideration. Larger floods can and will occur. Actual flood heights may be increased by man-made or natural causes. This ordinance does not imply that land outside the Special Flood Hazard Areas and Future Conditions Flood Hazard Areas or uses permitted within such areas will be free from flooding or flood damages. This ordinance shall not create liability on the part of the Town of Rolesville or by any officer or employee thereof for any flood damages that result from reliance on this ordinance or any administrative decision lawfully made hereunder.
7.2.3.8
Penalties for violation Violation of the provisions of this ordinance or failure to comply with any of its requirements, including violation of conditions and safeguards established in connection with grants of variance or special exceptions, shall constitute a misdemeanor. Any person who violates this ordinance or fails to comply with any of its requirements shall, upon conviction thereof, be fined not more than $50.00 or imprisoned for not more than 30 days, or both. Each day such violation continues shall be considered a separate offense. Nothing herein contained shall prevent the Town of Rolesville from taking such other lawful action as is necessary to prevent or remedy any violation.
7.2.4.1
Designation of Floodplain Administrator The Town of Rolesville Planning Director, hereinafter referred to as the "Floodplain Administrator", is hereby appointed to administer and implement the provisions of this ordinance.
7.2.4.2
Floodplain Development Application, Permit, and Certification Requirements
A.
Application Requirements. Application for a Floodplain Development Permit shall be made to the floodplain administrator prior to any development activities located within Special Flood Hazard Areas and Future Conditions Flood Hazard Areas. The following items shall be presented to the floodplain administrator to apply for a floodplain development permit:
1.
A plot plan drawn to scale which shall include, but shall not be limited to, the following specific details of the proposed floodplain development:
a.
The nature, location, dimensions, and elevations of the area of development/disturbance; existing and proposed structures, utility systems, grading/pavement areas, fill materials, storage areas, drainage facilities, and other development;
b.
The boundary of the Special Flood Hazard Area or Future Conditions Flood Hazard Area as delineated on the FIRM or other flood map as determined in 7.2.3.2, or a statement that the entire lot is within the Special Flood Hazard Area or Future Conditions Flood Hazard Area;
c.
Flood zone(s) designation of the proposed development area as determined on the FIRM or other flood map as determined in 7.2.3.2;
d.
The boundary of the floodway(s) or non-encroachment area(s) as determined in 7.2.3.2;
e.
The Base Flood Elevation (BFE) or Future Conditions Flood Elevation where provided as set forth in 7.2.3.2; 7.2.4.3; or 7.2.5.4;
f.
The old and new location of any watercourse that will be altered or relocated as a result of proposed development;
g.
Certification of the plot plan by a registered land surveyor or professional engineer.
2.
Proposed elevation, and method thereof, of all development within a Special Flood Hazard Area or Future Conditions Flood Hazard Area including but not limited to:
a.
Elevation in relation to mean sea level of the proposed reference level (including basement) of all structures;
b.
Elevation in relation to mean sea level to which any non-residential structure in Zone AE, A or X (Future) will be flood-proofed; and
c.
Elevation in relation to mean sea level to which any proposed utility systems will be elevated or floodproofed;
3.
If floodproofing, a Floodproofing Certificate (FEMA Form 81-65) with supporting data and an operational plan that includes, but is not limited to, installation, exercise, and maintenance of floodproofing measures.
4.
A Foundation Plan, drawn to scale,, which shall include details of the proposed foundation system to ensure all provisions of this ordinance are met. These details include but are not limited to:
a.
The proposed method of elevation, if applicable (i.e., fill, solid foundation perimeter wall, solid backfilled foundation, open foundation on columns/posts/piers/piles/shear walls);
b.
Openings to facilitate equalization of hydrostatic flood forces on walls in accordance with 7.2.5.2, when solid foundation perimeter walls are used in Zones A, AE and X (future);
5.
Usage details of any enclosed areas below the regulatory flood protection elevation.
6.
Plans and/or details for the protection of public utilities and facilities such as sewer, gas, electrical, and water systems to be located and constructed to minimize flood damage;
7.
Copies of all other Local, State and Federal permits required prior to floodplain development permit issuance (Wetlands, Endangered Species, Erosion and Sedimentation Control, Riparian Buffers, Mining, etc.).
8.
Documentation for placement of Recreational Vehicles and/or Temporary Structures, when applicable, to ensure 7.2.5.2 of this ordinance are met.
9.
A description of proposed watercourse alteration or relocation, when applicable, including an engineering report on the effects of the proposed project on the flood-carrying capacity of the watercourse and the effects to properties located both upstream and downstream; and a map (if not shown on plot plan) showing the location of the proposed watercourse alteration or relocation.
B.
Permit Requirements. The Floodplain Development Permit shall include, but not be limited to:
1.
A description of the development to be permitted under the floodplain development permit.
2.
The Special Flood Hazard Area or Future Conditions Flood Hazard Area determination for the proposed development per available data specified in 7.2.5.2.
3.
The regulatory flood protection elevation required for the reference level and all attendant utilities.
4.
The regulatory flood protection elevation required for the protection of all public utilities.
5.
All certification submittal requirements with timelines.
6.
A statement that no fill material or other development shall encroach into the floodway or non-encroachment area of any watercourse, as applicable.
7.
The flood openings requirements, if in Zones A, AE or X (Future).
8.
Limitations of below BFE enclosure uses (if applicable) (i.e., Parking, Building Access and Limited Storage only).
C.
Certification Requirements.
1.
Elevation Certificates An Elevation Certificate (FEMA Form 81-31) is required prior to the actual start of any new construction. It shall be the duty of the permit holder to submit to the floodplain administrator a certification of the elevation of the reference level, in relation to mean sea level. The floodplain administrator shall review the certificate data submitted. Deficiencies detected by such review shall be corrected by the permit holder prior to the beginning of construction. Failure to submit the certification or failure to make required corrections shall be cause to deny a floodplain development permit.
An Elevation Certificate (FEMA Form 81-31) is required after the reference level is established. Within seven calendar days of establishment of the reference level elevation, it shall be the duty of the permit holder to submit to the floodplain administrator a certification of the elevation of the reference level, in relation to mean sea level. Any work done within the seven day calendar period and prior to submission of the certification shall be at the permit holder's risk. The floodplain administrator shall review the certificate data submitted. Deficiencies detected by such review shall be corrected by the permit holder immediately and prior to further work being permitted to proceed. Failure to submit the certification or failure to make required corrections shall be cause to issue a stop-work order for the project.
A final as-built Elevation Certificate (FEMA Form 81-31) is required after construction is completed and prior to Certificate of Compliance/Occupancy issuance. It shall be the duty of the permit holder to submit to the floodplain administrator a certification of final as-built construction of the elevation of the reference level and all attendant utilities. The floodplain administrator shall review the certificate data submitted. Deficiencies detected by such review shall be corrected by the permit holder immediately and prior to Certificate of Compliance/Occupancy issuance. In some instances, another certification may be required to certify corrected as-built construction. Failure to submit the certification or failure to make required corrections shall be cause to withhold the issuance of a Certificate of Compliance/Occupancy.
2.
Floodproofing Certificate If non-residential floodproofing is used to meet the regulatory flood protection elevation requirements, a Floodproofing Certificate (FEMA Form 81-65), with supporting data and an operational plan, is required prior to the actual start of any new construction. It shall be the duty of the permit holder to submit to the floodplain administrator a certification of the floodproofed design elevation of the reference level and all attendant utilities, in relation to mean sea level. Floodproofing certification shall be prepared by or under the direct supervision of a professional engineer or architect and certified by same. The floodplain administrator shall review the certificate data and plan. Deficiencies detected by such review shall be corrected by the applicant prior to permit approval. Failure to submit the certification or failure to make required corrections shall be cause to deny a floodplain development permit. Failure to construct in accordance with the certified design shall be cause to withhold the issuance of a Certificate of Compliance/Occupancy.
If a manufactured home is placed within Zone A, AE or X (Future) and the elevation of the chassis is more than 36 inches in height above grade, an engineered foundation certification is required per 7.2.5.2.
If a watercourse is to be altered or relocated, a description of the extent of watercourse alteration or relocation; a professional engineer's certified report on the effects of the proposed project on the flood-carrying capacity of the watercourse and the effects to properties located both upstream and downstream; and a map showing the location of the proposed watercourse alteration or relocation shall all be submitted by the permit applicant prior to issuance of a floodplain development permit.
3.
Certification Exemptions The following structures, if located within Zone A, AE or X (Future), are exempt from the elevation/floodproofing certification requirements specified in items (a) and (b) of this subsection:
a.
Recreational Vehicles meeting requirements of 7.2.5.2;
b.
Temporary Structures meeting requirements of 7.2.5.2; and
c.
Accessory Structures less than 150 square feet meeting requirements of 7.2.5.2.
7.2.4.3
Duties and Responsibilities of the Floodplain Administrator The Floodplain Administrator shall perform, but not be limited to, the following duties:
A.
Review all floodplain development applications and issue permits for all proposed development within Special Flood Hazard Areas and Future Conditions Flood Hazard Areas to assure that the requirements of this ordinance have been satisfied.
B.
Advise permittee that additional Federal or State permits (Wetlands, Endangered Species, Erosion and Sedimentation Control, Riparian Buffers, Mining, etc.) may be required, and require that copies of such permits be provided and maintained on file with the floodplain development permit.
C.
Notify adjacent communities and the North Carolina Department of Crime Control and Public Safety, Division of Emergency Management, State Coordinator for the National Flood Insurance Program prior to any alteration or relocation of a watercourse, and submit evidence of such notification to the Federal Emergency Management Agency (FEMA).
D.
Assure that maintenance is provided within the altered or relocated portion of said watercourse so that the flood-carrying capacity is not diminished.
E.
Prevent encroachments into floodways and non-encroachment areas unless the certification and flood hazard reduction provisions of 7.2.5.5 are met.
F.
Obtain actual elevation (in relation to mean sea level) of the reference level (including basement) and all attendant utilities of all new or substantially improved structures, in accordance with 7.2.5.2.
G.
Obtain actual elevation (in relation to mean sea level) to which all new and substantially improved structures and utilities have been floodproofed, in accordance with 7.2.5.2.
H.
Obtain actual elevation (in relation to mean sea level) of all public utilities in accordance with 7.2.5.2.
I.
When floodproofing is utilized for a particular structure, obtain certifications from a registered professional engineer or architect in accordance with 7.2.4.2, 7.2.5.2.
J.
Where interpretation is needed as to the exact location of boundaries of the Special Flood Hazard Areas or Future Conditions Flood Hazard Areas (for example, where there appears to be a conflict between a mapped boundary and actual field conditions), make the necessary interpretation. The person contesting the location of the boundary shall be given a reasonable opportunity to appeal the interpretation as provided in this ordinance.
K.
When Base Flood Elevation (BFE) data has not been provided in accordance with 7.2.3.2, obtain, review, and reasonably utilize any Base Flood Elevation (BFE) data, along with floodway data or non-encroachment area data available from a Federal, State, or other source, including data developed pursuant to 7.2.5.4, in order to administer the provisions of this ordinance.
L.
When Base Flood Elevation (BFE) data is provided but no floodway nor non-encroachment area data has been provided in accordance with 7.2.3.2, obtain, review, and reasonably utilize any floodway data or non-encroachment area data available from a Federal, State, or other source in order to administer the provisions of this ordinance.
M.
When the lowest ground elevation of a parcel or structure located within Zone AE is above the Base Flood Elevation (BFE), advise the property owner of the option to apply for a Letter of Map Amendment (LOMA) from FEMA. Maintain a copy of the Letter of Map Amendment (LOMA) issued by FEMA in the floodplain development permit file.
N.
Permanently maintain all records that pertain to the administration of this ordinance and make these records available for public inspection.
O.
Make on-site inspections of work in progress. As the work pursuant to a floodplain development permit progresses, the floodplain administrator shall make as many inspections of the work as may be necessary to ensure that the work is being done according to the provisions of the local ordinance and the terms of the permit. In exercising this power, the floodplain administrator has a right, upon presentation of proper credentials, to enter on any premises within the jurisdiction of the community at any reasonable hour for the purposes of inspection or other enforcement action.
P.
Issue stop-work orders as required. Whenever a building or part thereof is being constructed, reconstructed, altered, or repaired in violation of this ordinance, the floodplain administrator may order the work to be immediately stopped. The stop-work order shall be in writing and directed to the person doing the work. The stop-work order shall state the specific work to be stopped, the specific reason(s) for the stoppage, and the condition(s) under which the work may be resumed. Violation of a stop-work order constitutes a misdemeanor.
Q.
Revoke floodplain development permits as required. The floodplain administrator may revoke and require the return of the floodplain development permit by notifying the permit holder in writing stating the reason(s) for the revocation. Permits shall be revoked for any substantial departure from the approved application, plans, or specifications; for refusal or failure to comply with the requirements of State or local laws; or for false statements or misrepresentations made in securing the permit. Any floodplain development permit mistakenly issued in violation of an applicable State or local law may also be revoked.
R.
Make periodic inspections throughout all special flood hazard areas within the jurisdiction of the community. The floodplain administrator and each member of his or her inspections department shall have a right, upon presentation of proper credentials, to enter on any premises within the territorial jurisdiction of the department at any reasonable hour for the purposes of inspection or other enforcement action.
S.
Follow through with corrective procedures of 7.2.4.4.
T.
Review, provide input, and make recommendations for variance requests.
U.
Maintain a current map repository to include, but not limited to, the FIS Report, FIRM and other official flood maps and studies adopted in accordance with 7.2.3.2 of this ordinance, including any revisions thereto including Letters of Map Change, issued by FEMA. Notify State and FEMA of mapping needs.
V.
Coordinate revisions to FIS reports and FIRMs, including Letters of Map Revision Based on Fill (LOMR-F) and Letters of Map Revision (LOMR).
7.2.4.4
Corrective Procedures
A.
Violations to be Corrected: When the floodplain administrator finds violations of applicable State and local laws, it shall be his or her duty to notify the owner of the building of the violation. The owner shall immediately remedy each of the violations of law cited in such notification.
B.
Actions in Event of Failure to Take Corrective Action: If the owner of a building or property shall fail to take prompt corrective action, the floodplain administrator shall give the owner written notice, by certified or registered mail to the owner's last known address or by personal service, stating:
1.
That the building or property is in violation of the Flood Damage Prevention Ordinance;
2.
That a hearing will be held before the floodplain administrator at a designated place and time, not later than ten days after the date of the notice, at which time the owner shall be entitled to be heard in person or by counsel and to present arguments and evidence pertaining to the matter; and,
3.
That following the hearing, the floodplain administrator may issue an order to alter, vacate, or demolish the building; or to remove fill as appears appropriate.
C.
Order to Take Corrective Action: If, upon a hearing held pursuant to the notice prescribed above, the floodplain administrator shall find that the building or development is in violation of the Flood Damage Prevention Ordinance, they shall issue an order in writing to the owner, requiring the owner to remedy the violation within a specified time period, not less than 60 calendar days, nor more than 90 calendar days. Where the floodplain administrator finds that there is imminent danger to life or other property, they may order that corrective action be taken in such lesser period as may be feasible.
D.
Appeal: Any owner who has received an order to take corrective action may appeal the order to the local elected governing body by giving notice of appeal in writing to the floodplain administrator and the clerk within ten days following issuance of the final order. In the absence of an appeal, the order of the floodplain administrator shall be final. The local governing body shall hear an appeal within a reasonable time and may affirm, modify and affirm, or revoke the order.
E.
Failure to Comply with Order: If the owner of a building or property fails to comply with an order to take corrective action for which no appeal has been made or fails to comply with an order of the governing body following an appeal, the owner shall be guilty of a misdemeanor and shall be punished at the discretion of the court.
7.2.4.5
Variance Procedures
A.
The Town of Rolesville Board of Adjustment, hereinafter referred to as the "appeal board", shall hear and decide requests for variances from the requirements of this ordinance.
B.
Any person aggrieved by the decision of the appeal board may appeal such decision to the Court, as provided in Chapter 7A of the North Carolina General Statutes.
C.
Variances may be issued for:
1.
The repair or rehabilitation of historic structures upon the determination hat the proposed repair or rehabilitation will not preclude the structure's continued designation as a historic structure and that the variance is the minimum necessary to preserve the historic character and design of the structure.
2.
Functionally dependent facilities if determined to meet the definition as stated in 7.2.2 of this ordinance, provided provisions of 7.2.4.5 have been satisfied, and such facilities are protected by methods that minimize flood damages.
3.
Any other type of development, provided it meets the requirements stated in this section.
D.
In passing upon variances, the appeal board shall consider all technical evaluations, all relevant factors, all standards specified in other sections of this ordinance, and:
1.
The danger that materials may be swept onto other lands to the injury of others;
2.
The danger to life and property due to flooding or erosion damage;
3.
The susceptibility of the proposed facility and its contents to flood damage and the effect of such damage on the individual owner;
4.
The importance of the services provided by the proposed facility to the community;
5.
The necessity to the facility of a waterfront location as defined under 7.2.3 of this ordinance as a functionally dependent facility, where applicable;
6.
The availability of alternative locations, not subject to flooding or erosion damage, for the proposed use;
7.
The compatibility of the proposed use with existing and anticipated development;
8.
The relationship of the proposed use to the comprehensive plan and floodplain management program for that area;
9.
The safety of access to the property in times of flood for ordinary and emergency vehicles;
10.
The expected heights, velocity, duration, rate of rise, and sediment transport of the floodwaters and the effects of wave action, if applicable, expected at the site; and
11.
The costs of providing governmental services during and after flood conditions including maintenance and repair of public utilities and facilities such as sewer, gas, electrical and water systems, and streets and bridges.
12.
The extent that the development limit will deprive the land owner of reasonable use of their property.
E.
A written report addressing each of the above factors shall be submitted with the application for a variance.
F.
Upon consideration of the factors listed above and the purposes of this ordinance, the appeal board may attach such conditions to the granting of variances as it deems necessary to further the purposes of this ordinance.
G.
Any applicant to whom a variance is granted shall be given written notice specifying the difference between the Base Flood Elevation (BFE) and the elevation to which the structure is to be built and that such construction below the Base Flood Elevation increases risks to life and property, and that the issuance of a variance to construct a structure below the Base Flood Elevation will result in increased premium rates for flood insurance up to $25.00 per $100.00 of insurance coverage. Such notification shall be maintained with a record of all variance actions, including justification for their issuance.
H.
The floodplain administrator shall maintain the records of all appeal actions and report any variances to the Federal Emergency Management Agency and the State of North Carolina upon request.
I.
Conditions for Variances:
1.
Variances shall not be issued when the variance will make the structure in violation of other Federal, State, or local laws, regulations, or ordinances.
2.
Variances shall not be issued within any designated floodway or non-encroachment area if the variance would result in any increase in flood levels during the base flood discharge.
3.
Variances shall only be issued upon a determination that the variance is the minimum necessary, considering the flood hazard, to afford relief.
4.
Variances shall only be issued prior to development permit approval.
5.
Variances shall only be issued upon:
a.
A showing of good and sufficient cause;
b.
A determination that failure to grant the variance would result in exceptional hardship; and
c.
A determination that the granting of a variance will not result in increased flood heights, additional threats to public safety, or extraordinary public expense, create nuisance, cause fraud on or victimization of the public, or conflict with existing local laws or ordinances.
6.
A variance may be issued for solid waste disposal facilities, hazardous waste management facilities, salvage yards, and chemical storage facilities that are located in Special Flood Hazard Areas or Future Conditions Flood Hazard Areas provided that all of the following conditions are met.
7.
The use serves a critical need in the community.
8.
No feasible location exists for the use outside the Special Flood Hazard Area or Future Conditions Flood Hazard Area.
9.
The reference level of any structure is elevated or flood proofed to at least the regulatory flood protection elevation.
10.
The use complies with all other applicable Federal, State and local laws.
11.
The Town of Rolesville has notified the Secretary of the North Carolina Department of Crime Control and Public Safety of its intention to grant a variance at least 30 calendar days prior to granting the variance.
7.2.5.1
General Standards In all Special Flood Hazard Areas and Future Conditions Flood Hazard Areas the following provisions are required:
1.
All new construction and substantial improvements shall be designed (or modified) and adequately anchored to prevent flotation, collapse, and lateral movement of the structure.
2.
All new construction and substantial improvements shall be constructed with materials and utility equipment resistant to flood damage.
3.
All new construction and substantial improvements shall be constructed by methods and practices that minimize flood damages.
4.
Electrical, heating, ventilation, plumbing, air conditioning equipment, and other service facilities shall be designed and/or located so as to prevent water from entering or accumulating within the components during conditions of flooding. These include, but are not limited to, HVAC equipment, water softener units, bath/kitchen fixtures, ductwork, electric/gas meter panels/boxes, utility/cable boxes, appliances (washers, dryers, refrigerators, freezers, etc.), hot water heaters, and electric outlets/switches.
5.
All new and replacement water supply systems shall be designed to minimize or eliminate infiltration of floodwaters into the system.
6.
New and replacement sanitary sewage systems shall be designed to minimize or eliminate infiltration of floodwaters into the systems and discharges from the systems into flood waters.
7.
On-site waste disposal systems shall be located and constructed to avoid impairment to them or contamination from them during flooding.
8.
Any alteration, repair, reconstruction, or improvements to a structure, which is in compliance with the provisions of this ordinance, shall meet the requirements of "new construction" as contained in this ordinance.
9.
Nothing in this ordinance shall prevent the repair, reconstruction, or replacement of a building or structure existing on the effective date of this ordinance and located totally or partially within the floodway, non-encroachment area, or stream setback, provided there is no additional encroachment below the regulatory flood protection elevation in the floodway, non-encroachment area, or stream setback, and provided that such repair, reconstruction, or replacement meets all of the other requirements of this ordinance.
10.
New solid waste disposal facilities and sites, hazardous waste management facilities, salvage yards, and chemical storage facilities shall not be permitted, except by variance as specified in 7.2.4.5. A structure or tank for chemical or fuel storage incidental to an allowed use or to the operation of a water treatment plant or wastewater treatment facility may be located in a Special Flood Hazard Area or Future Conditions Flood Hazard Area (OPTIONAL) only if the structure or tank is either elevated or floodproofed to at least the regulatory flood protection elevation and certified according to 7.2.4.2 of this ordinance.
11.
All subdivision proposals and other development proposals shall be consistent with the need to minimize flood damage.
12.
All subdivision proposals and other development proposals shall have public utilities and facilities such as sewer, gas, electrical, and water systems located and constructed to minimize flood damage.
13.
All subdivision proposals and other development proposals shall have adequate drainage provided to reduce exposure to flood hazards.
14.
All subdivision proposals and other development proposals shall have received all necessary permits from those governmental agencies for which approval is required by Federal or State law, including Section 404 of the Federal Water Pollution Control Act Amendments of 1972, 33 U.S.C. 1334.
7.2.5.2
Specific Standards In all Special Flood Hazard Areas where Base Flood Elevation (BFE) data has been provided and in Future Conditions Flood Hazard Areas where Future Conditions Flood Elevations data has been provided, as set forth in 7.2.3.2, or 7.2.4.3, the following provisions, in addition to 7.2.5.1, are required:
A.
Residential Construction. New construction and substantial improvement of any residential structure (including manufactured homes) shall have the reference level, including basement, elevated no lower than the regulatory flood protection elevation, as defined in 7.2.2 of this ordinance.
B.
Non-Residential Construction. New construction and substantial improvement of any commercial, industrial, or other non-residential structure shall have the reference level, including basement, elevated no lower than the regulatory flood protection elevation, as defined in 7.2.2 of this ordinance. Structures located in A, AE, and X (Future) Zones may be floodproofed to the regulatory flood protection elevation in lieu of elevation provided that all areas of the structure, together with attendant utility and sanitary facilities, below the regulatory flood protection elevation are watertight with walls substantially impermeable to the passage of water, using structural components having the capability of resisting hydrostatic and hydrodynamic loads and the effect of buoyancy. A registered professional engineer or architect shall certify that the standards of this subsection are satisfied. Such certification shall be provided to the Floodplain Administrator as set forth in 7.2.4.2, along with the operational and maintenance plans.
C.
Manufactured Homes.
1.
New or replacement manufactured homes shall be elevated so that the reference level of the manufactured home is no lower than the regulatory flood protection elevation, as defined in 7.2.2 of this ordinance.
2.
Manufactured homes shall be securely anchored to an adequately anchored foundation to resist flotation, collapse, and lateral movement, either by engineer certification, or in accordance with the most current edition of the State of North Carolina Regulations for Manufactured Homes adopted by the Commissioner of Insurance pursuant to NCGS § 143-143.15. Additionally, when the elevation would be met by an elevation of the chassis 36 inches or less above the grade at the site, the chassis shall be supported by reinforced piers or engineered foundation. When the elevation of the chassis is above 36 inches in height, an engineering certification is required.
3.
All enclosures or skirting below the lowest floor shall meet the requirements of 7.2.5.2.
4.
An evacuation plan must be developed for evacuation of all residents of all new, substantially improved or substantially damaged manufactured home parks or subdivisions located within flood prone areas. This plan shall be filed with and approved by the floodplain administrator and the local Emergency Management coordinator.
D.
Elevated Buildings. Fully enclosed area, of new construction and substantially improved structures, which is below the lowest floor:
1.
Shall not be designed or used for human habitation, but shall only be used for parking of vehicles, building access, or limited storage of maintenance equipment used in connection with the premises. Access to the enclosed area shall be the minimum necessary to allow for parking of vehicles (garage door) or limited storage of maintenance equipment (standard exterior door), or entry to the living area (stairway or elevator). The interior portion of such enclosed area shall not be finished or partitioned into separate rooms, except to enclose storage areas;
2.
Shall be constructed entirely of flood resistant materials below the regulatory flood protection elevation;
3.
Shall include, in Zones A, AE and X (Future), flood openings to automatically equalize hydrostatic flood forces on walls by allowing for the entry and exit of floodwaters. To meet this requirement, the openings must either be certified by a professional engineer or architect or meet or exceed the following minimum design criteria;
a.
A minimum of two flood openings on different sides of each enclosed area subject to flooding;
b.
The total net area of all flood openings must be at least one square inch for each square foot of enclosed area subject to flooding;
c.
If a building has more than one enclosed area, each enclosed area must have flood openings to allow floodwaters to automatically enter and exit;
d.
The bottom of all required flood openings shall be no higher than one foot above the adjacent grade;
e.
Flood openings may be equipped with screens, louvers, or other coverings or devices, provided they permit the automatic flow of floodwaters in both directions; and
f.
Enclosures made of flexible skirting are not considered enclosures for regulatory purposes, and, therefore, do not require flood openings. Masonry or wood underpinning, regardless of structural status, is considered an enclosure and requires flood openings as outlined above.
E.
Additions/Improvements.
1.
Additions and/or improvements to pre-FIRM structures when the addition and/or improvements in combination with any interior modifications to the existing structure are:
2.
Not a substantial improvement, the addition and/or improvements must be designed to minimize flood damages and must not be any more non-conforming than the existing structure.
3.
A substantial improvement, both the existing structure and the addition and/or improvements must comply with the standards for new construction.
4.
Additions to post-FIRM structures with no modifications to the existing structure other than a standard door in the common wall shall require only the addition to comply with the standards for new construction.
5.
Additions and/or improvements to post-FIRM structures when the addition and/or improvements in combination with any interior modifications to the existing structure are:
6.
Not a substantial improvement, the addition and/or improvements only must comply with the standards for new construction.
7.
A substantial improvement, both the existing structure and the addition and/or improvements must comply with the standards for new construction.
8.
Where an independent perimeter load-bearing wall is provided between the addition and the existing building, the addition(s) shall be considered a separate building and only the addition must comply with the standards for new construction.
F.
Recreational Vehicles. Recreational vehicles shall either:
1.
Be on site for fewer than 180 consecutive days and be fully licensed and ready for highway use (a recreational vehicle is ready for highway use if it is on its wheels or jacking system, is attached to the site only by quick disconnect type utilities, and has no permanently attached additions); or
2.
Meet all the requirements for new construction.
G.
Temporary Non-Residential Structures. Prior to the issuance of a floodplain development permit for a temporary structure, the applicant must submit to the floodplain administrator a plan for the removal of such structure(s) in the event of a hurricane, flash flood or other type of flood warning notification. The following information shall be submitted in writing to the floodplain administrator for review and written approval;
1.
A specified time period for which the temporary use will be permitted. Time specified may not exceed three months, renewable up to one year;
2.
The name, address, and phone number of the individual responsible for the removal of the temporary structure;
3.
The time frame prior to the event at which a structure will be removed (i.e., minimum of 72 hours before landfall of a hurricane or immediately upon flood warning notification);
4.
A copy of the contract or other suitable instrument with the entity responsible for physical removal of the structure; and
5.
Designation, accompanied by documentation, of a location outside the Special Flood Hazard Area or Future Conditions Flood Hazard Area, to which the temporary structure will be moved.
H.
Accessory Structures. When accessory structures (sheds, detached garages, etc.) are to be placed within a Special Flood Hazard Area or Future Conditions Flood Hazard Area, the following criteria shall be met:
1.
Accessory structures shall not be used for human habitation (including working, sleeping, living, cooking or restroom areas);
2.
Accessory structures shall not be temperature-controlled;
3.
Accessory structures shall be designed to have low flood damage potential;
4.
Accessory structures shall be constructed and placed on the building site so as to offer the minimum resistance to the flow of floodwaters;
5.
Accessory structures shall be firmly anchored in accordance with 7.2.5.1;
6.
All service facilities such as electrical shall be installed in accordance with 7.2.5.1; and
7.
Flood openings to facilitate automatic equalization of hydrostatic flood forces shall be provided below regulatory flood protection elevation in conformance with 7.2.5.2.
8.
An accessory structure with a footprint less than 150 square feet that satisfies the criteria outlined above does not require an elevation or floodproofing certificate. Elevation or floodproofing certifications are required for all other accessory structures in accordance with 7.2.4.2.
7.2.5.3
Reserved
7.2.5.4
Standards for Floodplains without Established Base Flood Elevations
A.
Within the Special Flood Hazard Areas designated as Approximate Zone A and established in 7.2.3.2, where no Base Flood Elevation (BFE) data has been provided by FEMA, the following provisions, in addition to 7.2.5.1 and 7.2.5.2, shall apply:
B.
No encroachments, including fill, new construction, substantial improvements or new development shall be permitted within a distance of 20 feet each side from top of bank or five times the width of the stream, whichever is greater, unless certification with supporting technical data by a registered professional engineer is provided demonstrating that such encroachments shall not result in any increase in flood levels during the occurrence of the base flood discharge.
C.
The BFE used in determining the regulatory flood protection elevation shall be determined based on one of the following criteria set in priority order:
D.
If Base Flood Elevation (BFE) data is available from other sources, all new construction and substantial improvements within such areas shall also comply with all applicable provisions of this ordinance and shall be elevated or floodproofed in accordance with standards in 7.2.4.3.
E.
All subdivision, manufactured home park and other development proposals shall provide Base Flood Elevation (BFE) data if development is greater than five acres or has more than 50 lots/manufactured home sites. Such Base Flood Elevation (BFE) data shall be adopted by reference per 7.2.3.2 to be utilized in implementing this ordinance.
F.
When Base Flood Elevation (BFE) data is not available from a Federal, State, or other source as outlined above, the reference level shall be elevated to or above the regulatory flood protection elevation, as defined in 7.2.2.
7.2.5.5
Reserved
7.2.5.6
Uses Permitted in Special Flood Hazard Areas And Future Conditions Flood Hazard Areas Areas designated as floodways or non-encroachment areas are located within the Special Flood Hazard Areas established in 7.2.3.2. The floodways and non-encroachment areas are extremely hazardous areas due to the velocity of floodwaters that have erosion potential and carry debris and potential projectiles.
The following uses are permitted in floodway and non-encroachment areas, provided that they are not prohibited by this or any other law; permanent facilities are flood-proofed; they will not adversely affect the capacity if the channels, floodway or non-encroachment areas of any river, creek, stream, tributary, or other drainage areas; and provided, still further, that no such use will raise the elevation of the base flood:
A)
Archaeological activities;
B)
Boats docks, ramps, piers, or similar water-dependent structures;
C)
Quarrying provided spoilage is not stored in the floodway or non-encroachment area;
D)
Any other use not employing a structure and not subject to floating away during a flood;
E)
Reconstruction, rehabilitation, or restoration of structures listed on the National Register of Historic Place or the State Inventory of Historic Places;
F)
Roads, driveway, bridges, overhead utility lines, hydroelectric plants, railway lines and rights-of-way, creek and storm drainage facilities, sewage or wastewater treatment plant outlets, water supply intake structures, manholes and wastewater mains, and other similar public, community or utility uses;
G)
Dams (including fill) provided they are constructed perpendicular to the floodway or non-encroachment area flow; provided still further that the emergency spillway is designed to safely pass the maximum expected peak discharge of the 100-year storm event; and provided still further that the dam complies with all state and federal laws and regulations. The construction of dams within jurisdictional water of the United States may be prohibited by the federal and/or state governments;
H)
Drainage ditches, roadside ditches, and stormwater outfalls, provide no alternative exists and any necessary stormwater management devices are installed to control nitrogen, to attenuate the velocity of the discharge, and/or return the discharge to a diffuse flow (all to the maximum extent practicable), prior to the conveyance of the discharge through the buffer;
I)
Pedestrian, bikeway, equestrian, golf cart, and other recreation trails;
J)
Stream and wetland restoration and stream bank stabilization; and
K)
An encroachment, otherwise permitted by the applicable zoning, for which FEMA has issued a Conditional Letter of Map Revision (CLOMR) followed by a Letter of Map Revision (LOMR).
7.2.5.7.
Uses Prohibited in Special Flood Hazard Areas and Future Conditions Flood Hazard Areas
A)
No new structures may be constructed or placed within a floodway or non-encroachment area except as provided in Section 7.2.5.6 above;
B)
No fill may be placed in a floodway or non-encroachment area except as provided in Section 7.2.5.6 above;
C)
No new solid waste disposal facilities, hazardous waste management facilities, salvage yards, and chemical storage facilities or similar uses that may result in environmental contamination is permitted within the floodways and non-encroachment areas. A structure or tank for chemical or fuel storage incidental to an allows use or to the operation of a water treatment plan or wastewater treatment facility may be located in a floodway or non-encroachment area only if the structure or tank is either elevated or floodproofed to at least the regulatory flood protection elevation and certified accordingly.
7.2.6.1
Effect on rights and liabilities under the existing flood damage prevention ordinance This ordinance in part comes forward by re-enactment of some of the provisions of the flood damage prevention ordinance December 19, 2000 as amended, and it is not the intention to repeal but rather to re-enact and continue to enforce without interruption of such existing provisions, so that all rights and liabilities that have accrued thereunder are reserved and may be enforced. The enactment of this ordinance shall not affect any action, suit or proceeding instituted or pending. All provisions of the flood damage prevention ordinance of Town of Rolesville enacted on December 19, 2000, as amended, which are not reenacted herein are thereby repealed.
7.2.6.2
Effect upon outstanding floodplain development permits Nothing herein contained shall require any change in the plans, construction, size, or designated use of any development or any part thereof for which a floodplain development permit has been granted by the floodplain administrator or his or her authorized agents before the time of passage of this ordinance; provided, however, that when construction is not begun under such outstanding permit within a period of six months subsequent to the date of issuance of the outstanding permit, construction or use shall be in conformity with the provisions of this ordinance.
Stream Protection Buffers provide strips of natural vegetation that remove pollutants from stormwater runoff before they reach streams or watercourses that eventually drain into a water supply watersource. They do so by allowing infiltration of runoff and filtration of pollutants through the ground and soil, slowing runoff flow to allow settling and deposition of pollutants, and providing vegetation that absorbs pollutants through root systems. In addition, these natural buffers preserve habitat for both prolific and endangered wildlife and plant species. Plant and wildlife preservation ensures a diverse ecosystem. Finally, stream protection buffers provide scenic areas for human recreation and enjoyment. The provision of vegetated, undisturbed buffers serve to preserve and protect the quality of our streams and watercourses; to preserve and protect the drinking water sources for our downstream neighbors; to preserve and protect habitat to wildlife and plants; and to preserve and protect natural areas for the human recreation and stress relief.
Along each side of a stream shown as a blue line on the most recent edition of USGS 1:24,000 (7.5) minute scale topographic maps, a 100-foot wide buffer area shall be provided. The 100-foot wide buffer shall be measured perpendicular to the river, stream of watercourse bank. The buffer shall be divided into two sections, as follows:
7.3.2.1
Stream Protection Buffer, Section 1 shall be defined as that area that begins at the stream bank and extends outward 50 feet. Stream Protection Buffer, Section 1 shall be undisturbed except for the following activities, which shall be allowed:
(a)
Archeological activities, provided any vegetation removed is restored with vegetation of comparable assimilative capacity;
(b)
Bridges, provided no alternative to their location in the buffer exists;
(c)
Dam Maintenance activities;
(d)
Drainage ditches roadside ditches and stormwater outfalls, provided that:
(1)
No reasonable alternative to their location in the buffer exists; and
(2)
Stormwater management is installed to control nitrogen and attenuate flow before the conveyance discharges through the buffer;
(e)
Driveway and road (public and private) crossings provided:
(1)
No reasonable alternative to their location in the buffer (including opportunities for shared driveways) exists; and
(2)
The driveway crosses the buffer at an angle as close to 90 degrees as possible; and
(3)
Side slopes do not exceed a 2:1 (horizontal to vertical) ratio (bridging and/or retaining walls may be used to meet this and the disturbance width standard); and
(4)
All culverts are designed and constructed for the 25-year storm event
(f)
Utility lines, provided:
(1)
No reasonable alternative to their location in the buffer; and
(2)
A line crossing the buffer is combined with other permitted buffer crossings, where practicable;
(3)
Vegetative root systems and stumps from cut trees are retained;
(4)
No rip-rap rock is used unless necessary to stabilize a pole or tower; and
(5)
Active measurements are taken after construction and during routine maintenance to ensure diffuse flow of stormwater through the buffer; and
(6)
Mats are used to minimize soil disturbance; and
(7)
Construction activities minimize the removal of woody vegetation, the extent of disturbed area and the during which areas remain in a disturbed state; and
(8)
Cables are installed by vibratory plow or trenching; and
(9)
Trenches are backfilled with the excavated material immediately following the installation.
(g)
Removal of previously installed debris or filled, provided:
(1)
Diffuse flow is maintained; and
(2)
Any vegetation removed is restored with vegetation of comparable assimilative capacity.
(h)
Scientific studies and stream gauging;
(i)
Stormwater management ponds, provided:
(1)
No alternative to their location in the buffer exists; and
(2)
A new vegetated buffer meeting the purpose and requirements of this ordinance, as determined by the Town Manager on a case by case basis, is installed around the pond.
(j)
Stream Restoration;
(k)
Stream bank stabilization;
(l)
Temporary in-stream sediment and erosion control measures for work within a stream channel;
(m)
Wetland Restoration.
7.3.2.2
Stream Protection Buffer, Section 2 shall be defined as the area that begins at the outer-edge of the 100 feet buffer and extends toward the stream for a distance of 50 feet. Stream Protection Buffer, Section 2 shall be undisturbed except as is necessary to install or preserve stable vegetated area. that may be graded and revegetated for use as a lawn or landscaped area. Stream Protection Buffer, Section 2 may be disturbed as follows:
(a)
Lawn and landscaped areas;
(b)
Archeological activities, provided any vegetation removed is restored with vegetation of comparable assimilative capacity;
(c)
Bridges, provided no alternative to their location in the buffer exists;
(d)
Dam Maintenance activities;
(e)
Drainage ditches roadside ditches and stormwater outfalls, provided that:
(1)
No reasonable alternative to their location in the buffer exists; and
(2)
Stormwater management is installed to control nitrogen and attenuate flow before the conveyance discharges through the buffer;
(f)
Driveway and road (public and private) crossings provided:
(1)
No reasonable alternative to their location in the buffer (including opportunities for shared driveways) exists; and
(2)
The driveway crosses the buffer at an angle as close to 90 degrees as possible; and
(3)
Side slopes do not exceed a 2:1 (horizontal to vertical) ratio (bridging and/or retaining walls may be used to meet this and the disturbance width standard); and
(4)
All culverts are designed and constructed for the 25-year storm event;
(g)
Utility lines, provided:
(1)
No reasonable alternative to their location in the buffer; and
(2)
A line crossing the buffer is combined with other permitted buffer crossings, where practicable; and
(3)
Woody vegetation is removed by had (no land grubbing or grading); and
(4)
Vegetative root systems and stumps from cut trees are retained; and
(5)
No rip-rap rock is used unless necessary to stabilize a pole or tower; and
(6)
Active measurements are taken after construction and during routine maintenance to ensure diffuse flow of stormwater through the buffer; and
(7)
Mats are used to minimize soil disturbance; and
(8)
Construction activities minimize the removal of woody vegetation, the extent of disturbed area and the during which areas remain in a disturbed state; and
(9)
Cables are installed by vibratory plow or trenching; and
(10)
Trenches are backfilled with the excavated material immediately following the installation.
(h)
Removal of previously installed debris or filled, provided:
(1)
Diffuse flow is maintained; and
(2)
Any vegetation removed is restored with vegetation of comparable assimilative capacity.
(i)
Scientific studies and stream gauging;
(j)
Stormwater management ponds, provided:
(1)
No alternative to their location in the buffer exists; and
(2)
A new vegetated buffer meeting the purpose and requirements of this ordinance, as determined by the Town Manager on a case by case basis, is installed around the pond.
(k)
Stream Restoration;
(l)
Stream bank stabilization;
(m)
Temporary in-stream sediment and erosion control measures for work within a stream channel;
(n)
Wetland Restoration;
(o)
Pedestrian, bikeway, equestrian, golf cart, and other recreation trails (public or private) provided:
(1)
A trail crossing the buffer is combined with other permitted buffer crossing where practical; and
(2)
A trail crossing the buffer does so at an angle as close to 90 degrees as possible; and
(3)
Trails running linearly within the buffer shall be located where possible in the outer 20 feet of the buffer and in no instance shall be closer than 50 feet to the edge of a river, stream or watercourse.
7.3.2.3
Buffer areas may be included in recorded lots and used to satisfy minimum lot sizes, provided that stream buffers are clearly delineated on the plat and that a note is included on each plat that contains a lot which includes any portion of a Stream Buffer as follows:
WARNING! DO NOT DISTURB STREAM PROTECTION BUFFERS: This lot includes a stream buffer. Disturbance within the buffer area is regulated by the Town of Rolesville. Contact the Town of Rolesville Planning Department before entering or disturbing the buffer area in any manner. Unauthorized disturbance of the buffer area will result in financial penalties. In addition, this buffer may be governed by the State of North Carolina under the Neuse River Rules. Please contact the North Carolina Division of Environment, Health and Natural Resources for additional information.
In the event of conflict with other applicable laws or regulations, the more restrictive regulation shall govern. Note: streams may require both Stream Buffers and Neuse River Riparian Buffers. Stream Buffers and Neuse River Buffers may exist concurrently in the same location.
The Town recognizes that some property owners have already expended substantial funds in submitting for site plan, subdivisions, special use permits and other Town approvals. Projects that were in the review process as evidenced by the submittal of at least a completed application accepted by the Planning Department for a site plan, subdivision, special use permit or building permit, before March 16, 2004 will be exempt from the requirements of this section.
(A)
Title This ordinance shall be officially known as "The Post-Construction Stormwater Ordinance." It is referred to herein as "this ordinance."
(B)
Authority The Town Board is authorized to adopt this ordinance pursuant to North Carolina law, including but not limited to Article 14, Section 5 of the Constitution of North Carolina; the Charter of the Town of Rolesville; North Carolina General Statutes 143-214.7 and rules promulgated by the Environmental Management Commission thereunder; Session Law 2004-163; Chapter 160A, §§ 174, and 185.
(C)
Findings It is hereby determined that:
Development and Redevelopment alter the hydrologic response of local watersheds and increase stormwater runoff rates and volumes, flooding, soil erosion, stream channel erosion, nonpoint and point source pollution, and sediment transport and deposition, as well as reducing groundwater recharge;
These effects can be managed and minimized by applying proper design and well-planned controls to manage stormwater runoff from Development sites.
Further, the Federal Water Pollution Control Act of 1972 ("Clean Water Act") and federal Phase II Stormwater Rules promulgated under it compel the Town to adopt minimum stormwater controls such as those included in this ordinance.
Therefore, the Town establishes this set of water quality and quantity regulations to meet the requirements of state and federal law regarding control of stormwater runoff and discharge.
(D)
Purpose
(1)
General The purpose of this ordinance is to protect, maintain and enhance the public health, safety, environment and general welfare by establishing minimum requirements and procedures to control the adverse effects of increased post-Development stormwater runoff and nonpoint and point source pollution associated with new Development and Redevelopment as well as illicit discharges into municipal stormwater systems.
(2)
Specific This ordinance seeks to meet its general purpose through the following specific objectives and means:
(i)
Requiring that new Development and Redevelopment maintain the pre-Development hydrologic response in their post-Development state as nearly as practicable for the applicable design storm to reduce flooding, streambank erosion, nonpoint and point source pollution;
(ii)
Establishing minimum post-Development stormwater management standards and design criteria for the regulation and control of stormwater runoff quantity and quality;
(iii)
Encouraging the use of better management and site design practices, such as the use of vegetated conveyances for stormwater and the preservation of greenspace, riparian buffers and other conservation areas to the maximum extent practicable;
(iv)
Establishing provisions for the long-term responsibility for and maintenance of Structural and nonstructural Stormwater Best Management Practices (BMPs) to ensure that they continue to function as designed, are maintained appropriately, and pose no threat to public safety;
(v)
Establishing administrative procedures for the submission, review, approval and disapproval of stormwater management plans, for the inspection of approved projects, and to assure appropriate long-term maintenance.
(vi)
Managing flooding and downstream impacts with an awareness of impending regional growth.
(E)
Applicability and Jurisdiction
(1)
General Beginning with and subsequent to its effective date, this ordinance shall be applicable to all Development and Redevelopment, including, but not limited to, site plan applications, subdivision applications, and grading applications, unless exempt pursuant to Subsection (2) of this Section, Exemptions.
(2)
Exemptions Development that cumulatively disturbs less than 20,000 square feet and is not part of a larger common plan of Development or Sale is exempt from the provisions of this ordinance. This exemption does not relieve any Development from Neuse Buffer Rules or other applicable federal, state or local laws.
Redevelopment that cumulatively disturbs less than 20,000 square feet and is not part of a Larger Common Plan of Development or Sale is exempt from the provisions of this ordinance. This exemption does not relieve any Development from Neuse Buffer Rules or other applicable federal, state or local laws.
Development and Redevelopment that disturb less than 20,000 square feet are not exempt if such activities are part of a larger common plan of or sale, even though multiple, separate or distinct activities take place at different times on different schedules.
Activities that are exempt from permit requirements of Section 404 of the federal Clean Water Act as specified in 40 CFR 232 (primarily, ongoing farming and forestry activities) are exempt from the provisions of this ordinance.
(3)
No Development or Redevelopment Until Compliance and Permit No Development or Redevelopment shall occur except in compliance with the provisions of this ordinance or unless exempted. No Development for which a permit is required pursuant to this ordinance shall occur except in compliance with the provisions, conditions, and limitations of the permit.
(4)
Map The provisions of this ordinance shall apply within the areas designated as the municipal incorporated area and extraterritorial jurisdiction on the town's Official Zoning Map, which is adopted simultaneously herewith. The Zoning Map shall be kept on file by the Town and shall be amended from time to time to include changes in the land area covered by this ordinance. In the event of a dispute, the applicability of this ordinance to a particular area of land or BMP shall be determined by reference to the North Carolina Statutes, the North Carolina Administrative Code, and local zoning and jurisdictional boundary ordinances.
(F)
Interpretation
(1)
References to Statutes, Regulations, and Documents Whenever reference is made to a resolution, ordinance, statute, regulation, manual (including the North Carolina Stormwater Best Management Practices Manual, hereinafter "the Design Manual"), or document, it shall be construed as a reference to the most recent edition of such that has been finalized and published with due provision for notice and comment, unless otherwise specifically stated. See Section 3.8 of the Town of Rolesville Unified Development Ordinance.
(G)
North Carolina Stormwater Best management Practices Design Manual
(1)
Reference to Design Manual The Stormwater Administrator or his or her designee shall use the policy, criteria, and information, including technical specifications and standards, in the Design Manual as the basis for decisions about stormwater permits and about the design, implementation and performance of Structural and non-structural stormwater BMPs.
The Design Manual includes a list of acceptable stormwater treatment practices, including specific design criteria for each stormwater practice. Stormwater treatment practices that are designed, constructed, and maintained in accordance with these design and sizing criteria will be presumed to meet the minimum water quality performance standards of the Phase II laws.
(2)
Relationship of Design Manual to Other Laws and Regulations If the specifications or guidelines of the Design Manual are more restrictive or apply a higher standard than other laws or regulations, that fact shall not prevent application of the specifications or guidelines in the Design Manual.
(H)
Relationship to Other Laws, Regulations and Private Agreements
(1)
Conflict of Laws This ordinance is not intended to modify or repeal any other ordinance, rule, regulation or other provision of law. The requirements of this ordinance are in addition to the requirements of any other ordinance, rule, regulation or other provision of law. Where any provision of this ordinance imposes restrictions different from those imposed by any other ordinance, rule, regulation or other provision of law, whichever provision is more restrictive or imposes higher protective standards shall control.
(2)
Private Agreements This ordinance is not intended to revoke or repeal any easement, covenant, or other private agreement. However, where the regulations of this ordinance are more restrictive or impose higher standards or requirements than such an easement, covenant, or other private agreement, the requirements of this ordinance shall govern. Nothing in this ordinance shall modify or repeal any private covenant or deed restriction, but such covenant or restriction shall not legitimize any failure to comply with this ordinance. In no case shall the Town be obligated to enforce the provisions of any easements, covenants, or agreements between private parties.
(I)
Severability If the provisions of any section, subsection, paragraph, subdivision or clause of this ordinance shall be adjudged invalid by a court of competent jurisdiction, such judgment shall not affect or invalidate the remainder of any section, subsection, paragraph, subdivision or clause of this ordinance.
(J)
Effective Date and Transitional Provisions
(1)
Effective Date This Ordinance shall take effect on August 3, 2009.
(2)
Final Approvals, Complete Applications All Development and Redevelopment projects for which complete and full applications were submitted and accepted as complete by the Town prior to the effective date of this ordinance and which remain valid, unexpired, unrevoked and not otherwise terminated at the time of Development or Redevelopment shall be exempt from complying with all provisions of this ordinance dealing with the control and/or management of post-construction runoff, but shall be required to comply with all other applicable provisions.
A phased Development plan shall be deemed approved prior to the effective date of this ordinance if it has been approved by all necessary government units, it remains valid, unexpired, unrevoked and not otherwise terminated, and it shows:
(a)
For the initial or first phase of Development: the type and intensity of use for a specific parcel or parcels. This shall include, at a minimum, the boundaries of the project and a subdivision plan that has been approved.
(b)
For any subsequent phase of Development: sufficient detail showing that implementation of the requirements of this ordinance to that phase of Development would require a material change in that phase of the plan.
(3)
Violations Continue Any violation of provisions existing on the effective date of this ordinance shall continue to be a violation under this ordinance and be subject to penalties and enforcement under this ordinance unless the use, Development, construction, or other activity complies with the provisions of this ordinance.
When used in this Ordinance, the following words and terms shall have the meaning set forth in this section, unless other provisions of this Ordinance specifically indicate otherwise.
Built-upon Area (BUA). That portion of a Development project that is covered by impervious or partially impervious surface including, but not limited to, buildings, pavement and gravel areas such as roads, parking lots, and paths; and recreation facilities such as tennis courts. "Built-upon Area" does not include a wooden slatted deck, the water area of a swimming pool, or Permeable Pavement that meets the standards outlined in the North Carolina Division of Water Quality Stormwater Best Management Practices Manual.
Density. The calculation of the total Impervious Area of a project divided by the total project area. Surface water bodies shall be included in calculations of project Density.
Department. The North Carolina Department of Environment and Natural Resources.
Design Manual. The North Carolina Department of Environment and Natural Resources, Division of Water Quality Stormwater Best Management Practices Manual approved for use in Phase II jurisdictions by the Department for the proper implementation of the requirements of the federal Phase II stormwater program. All references herein to the Design Manual are to the latest published edition or revision.
Development. Any land-disturbing activity that increases the amount of built-upon area or that otherwise decreases the infiltration of precipitation into the soil.
Division. The Division of Water Quality in the North Carolina Department of Environment and Natural Resources.
Flood Protection Zone. The FEMA 100-year floodplain as identified on the current Flood Insurance Rate Map (FIRM) published by FEMA.
High-Density Project. A project is a High-Density Project if it has more than 24 percent Built-upon Area (BUA) based on total project acreage for all residential and non-residential Development. Any project that exceeds the low-Density threshold for Built-upon Area.
Impervious Area. Impervious Areas are those surfaces which prevent the infiltration of or impede the rate of infiltration of stormwater into the soil as compared with the natural conditions prior to Development. Common Impervious Areas include, but are not limited to, compacted surfaces used for pedestrian and vehicular travel or parking and other surfaces which prevent or impede the natural infiltration of stormwater runoff that existed prior to Development.
Larger Common Plan of Development or Sale. Any area where multiple separate and distinct construction or land-disturbing activities will occur under one plan. A plan is any announcement or piece of documentation (including but not limited to a sign, public notice or hearing, sales pitch, advertisement, loan application, drawing, permit application, zoning request, subdivision application or computer design) or physical demarcation (including but not limited to boundary signs, lot stakes, or surveyor markings) indicating that construction activities may occur on a specific plot.
Low-Density Project. A project is a Low-Density Project if it has more than 15 percent Built-upon Area (BUA) and no more than 24 percent Built-upon Area (BUA) based on total project acreage for all residential and non-residential Development.
A project with an overall Density at or below the relevant low-Density threshold, but containing areas with a Density greater than the overall project Density, may be considered Low Density as long as the project meets or exceeds the post-construction model practices for Low-Density Projects and locates the higher Density in upland areas and away from surface waters and drainageways to the maximum extent practicable.
Non-structural BMP. A practice that is intended to reduce the impacts of stormwater runoff by minimizing pollution at the source and that is not a physical device constructed to control or treat stormwater runoff. Examples of Non-Structural BMPs include reducing Impervious Areas, making use of existing natural features and systems, reforestation, and cluster Development.
One-year, 24-hour Storm. The surface runoff resulting from a 24-hour rainfall of an intensity expected to be equaled or exceeded, on average, once in 12 months and with a duration of 24 hours.
Owner. The legal or beneficial Owner of land, including but not limited to a mortgagee or vendee in possession, receiver, executor, trustee, or long-term or commercial lessee, or any other person or entity holding proprietary rights in the property or having legal power of management and control of the property. "Owner" shall include long-term commercial tenants; management entities, such as those charged with or engaged in the management of properties for profit; and every person or entity having joint ownership of the property.
Perennial or Intermittent Surface Waters. A Perennial or Intermittent Surface Water shall be deemed present if the feature is approximately shown on either the most recent version of the soil survey map prepared by the Natural Resources Conservation Service of the United States Department of Agriculture (USDA) or the most recent version of the 1:24,000 scale (7.5 minute) quadrangle topographic maps prepared by the United States Geologic Survey (USGS). An exception to this requirement shall be allowed when surface waters are not present in accordance with the provisions of 15A NCAC 2B .0233 (3)(a) or similar site-specific determination made using Division-approved methodology.
Permeable Pavement. An alternative to conventional concrete and asphalt paving materials that allows for infiltration of storm water into a storage area, with void spaces that provide temporary storage.
Redevelopment. Any Development on previously-developed land, other than a rebuilding activity that results in no net increase in Built-upon Area and provides equal or greater stormwater control than the previous Development.
Riparian Buffer Zone. Any area extending 50 feet landward of all Perennial and Intermittent Surface Waters.
Stormwater Administrator. The official assigned by the Town Manager, including the official's duly authorized agent or delegate, charged with the administration and enforcement of this ordinance, which includes but is not limited to the responsibility to make decisions about stormwater permits, the design, implementation and performance of structural and Non-structural BMPs; to make determinations and render interpretations of this ordinance; to establish application requirements and schedules; to enforce the provisions of this ordinance, and to designate appropriate other person(s) who shall carry out the powers and duties of the Stormwater Administrator.
Stormwater Management Practice. Any practice designed to reduce the impacts of stormwater runoff, including both Structural and Non-structural BMPs.
Structural BMP. A physical device designed to trap, settle out, or filter pollutants from stormwater runoff; to alter or reduce stormwater runoff velocity, amount, timing, or other characteristics; to approximate the pre-Development hydrology on a developed site; or to achieve any combination of these goals. Structural BMP includes physical practices such as constructed wetlands, vegetative practices, filter strips, grassed swales, and other methods installed or created on real property.
Substantial Progress. For the purposes of determining whether sufficient progress has been made on an approved plan, one or more of the following construction activities toward the completion of a site or subdivision plan shall occur: obtaining a grading permit and conducting grading activity; or installation and approval of on-site infrastructure; or obtaining a building permit for the construction and approval of a building foundation. "Substantial Progress" for purposes of determining whether an approved plan is null and void is not necessarily the same as "substantial expenditures" used for determining vested rights pursuant to applicable law.
Two-year, 24-hour Storm. The surface runoff resulting from a 24-hour rainfall of an intensity expected to be equaled or exceeded, on average, once in two years and with a duration of 24 hours.
Ten-year, 24-hour Storm. The surface runoff resulting from a 24-hour rainfall of an intensity expected to be equaled or exceeded, on average, once in ten years and with a duration of 24 hours.
Ultra Low-Density Project. A project is an Ultra Low-Density Project if it has 15 percent or less Built-upon Area (BUA) based on total project acreage for all residential and non-residential Development. A project with an overall Density at or below the relevant ultra low-Density threshold, but containing areas with a Density greater than the overall project Density, may be considered ultra low-Density as long as the project meets or exceeds the post-construction model practices for Ultra Low-Density Projects and locates the higher Density in upland areas and away from surface waters and drainageways to the maximum extent practicable.
(A)
Review and Decision-Making Entities
(1)
Stormwater Administrator
(a)
Designation A Stormwater Administrator shall be designated by the Town Board to administer and enforce this ordinance.
(b)
Powers and Duties In addition to the powers and duties that may be conferred by other provisions of the Code of the Town of Rolesville and other laws, the Stormwater Administrator shall have the following powers and duties under this ordinance:
i.
To review and approve, approve with conditions, or disapprove applications for approval of plans pursuant to this ordinance.
ii.
To make determinations and render interpretations of this ordinance.
iii.
To enforce the provisions of this ordinance in accordance with its enforcement provisions.
iv.
To maintain records, maps, forms and other official materials as they relate to the adoption, amendment, enforcement, and administration of this ordinance.
v.
To designate appropriate other person(s) who shall carry out the powers and duties of the Stormwater Administrator.
vi.
To take any other action necessary to administer the provisions of this ordinance.
(B)
Review Procedures
(1)
Permit Required; Must Apply for Permit A stormwater permit is required for all Development and Redevelopment unless exempt pursuant to this ordinance. A permit may only be issued subsequent to a properly submitted and reviewed permit application, pursuant to this section.
(2)
Effect of Permit A stormwater permit shall govern the design, installation, and construction of stormwater management and control practices on the site, including Structural BMPs and elements of site design for stormwater management other than Structural BMPs.
The permit is intended to provide a mechanism for the review, approval, and inspection of the approach to be used for the management and control of stormwater for the Development or Redevelopment site consistent with the requirements of this ordinance, whether the approach consists of Structural BMPs or other techniques such as low-impact or low-Density design. The permit does not continue in existence indefinitely after the completion of the project; rather, compliance after project construction is assured by the maintenance provisions of this ordinance.
(3)
Authority to File Applications All applications required pursuant to this Code shall be submitted to the Stormwater Administrator by the Owner or the Owner's duly authorized agent.
(4)
Establishment of Application Requirements, Schedule, and Fees
(a)
Application Contents and Form The Stormwater Administrator shall establish requirements for the content and form of all applications and shall amend and update those requirements from time to time. At a minimum, the stormwater permit application shall describe in detail how post-Development stormwater runoff will be controlled and managed, the design of all stormwater facilities and practices, and how the proposed project will meet the requirements of this ordinance.
(b)
Submission Schedule The Stormwater Administrator shall establish a submission schedule for applications. The schedule shall establish deadlines by which complete applications must be submitted for the purpose of ensuring that there is adequate time to review applications, and that the various stages in the review process are accommodated.
(c)
Permit Review Fees Permit review fees as well as policies regarding refund of any fees upon withdrawal of an application shall be established and may be amended and updated from time to time.
(d)
Administrative Manual For applications required under this Code, the Stormwater Administrator shall compile the requirements and information on how and where to obtain the Design Manual in an Administrative Manual, which shall be made available to the public.
(5)
Submittal of Complete Application Applications shall be submitted to the Stormwater Administrator pursuant to the application submittal schedule in the form established by the Stormwater Administrator, along with the appropriate fee established pursuant to this section.
An application shall be considered a complete submittal only when it contains all elements of a complete application pursuant to this ordinance and the Wake County Erosion and Sedimentation Control regulations, if applicable, along with the appropriate fee. If the Stormwater Administrator finds that an application is incomplete, the applicant shall be notified of the deficient elements and shall be provided with an opportunity to submit a complete application. However, the submittal of an incomplete application shall not suffice to meet a deadline contained in the submission schedule established above.
(6)
Review Within 30 working days after a complete application is submitted, the Stormwater Administrator shall review the application and determine whether the application complies with the standards of this ordinance.
(a)
Approval If the Stormwater Administrator finds that the application complies with the standards of this ordinance and the Wake County Erosion and Sedimentation Control regulations, if applicable, the Stormwater Administrator shall approve the application. The Stormwater Administrator may impose conditions of approval as needed to ensure compliance with this ordinance. The conditions shall be included as part of the approval.
(b)
Fails to Comply If the Stormwater Administrator finds that the application fails to comply with the standards of this ordinance and the Wake County Erosion and Sedimentation Control regulations, if applicable, the Stormwater Administrator shall notify the applicant and shall indicate how the application fails to comply. The applicant shall have an opportunity to submit a revised application.
(c)
Revision and Subsequent Review A complete revised application shall be reviewed by the Stormwater Administrator within 15 working days after its re-submittal and shall be approved, approved with conditions or disapproved.
If a revised application is not re-submitted within six months from the date the applicant was notified, the application shall be considered withdrawn, and a new submittal for the same or substantially the same project shall be required along with the appropriate fee for a new submittal.
(C)
Applications for Approval
(1)
Concept Plan and Consultation Meeting Before a stormwater management permit application is deemed complete, the Stormwater Administrator or developer may request a consultation on a concept plan for the post-construction stormwater management system to be utilized in the proposed Development. This consultation meeting should take place at the time of the preliminary plan of subdivision or other early step in the Development process. The purpose of this meeting is to discuss the post-construction stormwater management measures necessary for the proposed project, as well as to discuss and assess constraints, opportunities and potential approaches to stormwater management designs before formal site design engineering is commenced. Local watershed plans, the Zebulon and Rolesville Open Space and Greenway Master Plan, the Framework Plan (as described in the Town of Rolesville Comprehensive Plan), and other relevant resource protection plans should be consulted in the discussion of the concept plan.
To accomplish this goal, the following information should be included in the concept plan, which should be submitted in advance of the meeting:
(a)
Existing Conditions / Proposed Site Plans Existing conditions and proposed site layout sketch plans, which illustrate at a minimum: existing and proposed topography; Perennial and Intermittent streams; mapping of predominant soils from soil surveys (if available); boundaries of existing predominant vegetation; proposed limits of clearing and grading; and location of existing and proposed roads, buildings, parking areas and other impervious surfaces.
(b)
Natural Resources Inventory A written and graphic inventory of natural resources at the site and surrounding area as it exists prior to the commencement of the project. This description should include a discussion of soil conditions, forest cover, geologic features, topography, wetlands, and native vegetative areas on the site, as well as the location and boundaries of other natural feature protection and conservation areas such as lakes, ponds, floodplains, stream buffers, Flood Protection Zones, and other setbacks (e.g., drinking water well setbacks, septic setbacks, etc.). Particular attention should be paid to environmentally sensitive features that provide particular opportunities or constraints for Development and stormwater management.
(c)
Stormwater Management System Concept Plan A written and graphic concept plan of the proposed post-Development stormwater management system including: preliminary selection and location of proposed structural stormwater controls; low-impact design elements; location of existing and proposed conveyance systems such as grass channels, swales, and storm drains; flow paths; location of floodplain/floodway limits; relationship of site to upstream and downstream properties and drainages; and preliminary location of any proposed stream channel modifications, such as bridge or culvert crossings.
(2)
Stormwater Management Permit Application
(a)
Purpose The stormwater management permit application shall detail how post-Development stormwater runoff will be controlled and managed and how the proposed project will meet the requirements of this ordinance, including Section 3, Standards.
(b)
Downstream Impact Analysis As part of the permit application, all Development and Redevelopment shall perform a Downstream Impact Analysis as specified in Section 4.B.1.
(c)
Plan Certification All such plans shall be prepared by a qualified registered North Carolina professional engineer, surveyor, soil scientist or landscape architect, and the engineer, surveyor, soil scientist or landscape architect shall perform services only in their area(s) of competence, and shall verify that the design of all stormwater management facilities and practices meets the submittal requirements for complete applications, that the designs and plans are sufficient to comply with applicable standards and policies found in the Design Manual, and that the designs and plans ensure compliance with this ordinance.
The submittal shall include all of the information required in the submittal checklist established by the Stormwater Administrator. Incomplete submittals shall be treated pursuant to Section 3.B.4.
(D)
Approvals
(1)
Effect of Approval Approval authorizes the applicant to go forward with only the specific plans and activities authorized in the permit. The approval shall not be construed to exempt the applicant from obtaining other applicable approvals from local, state, and federal authorities.
(2)
Time Limit/Expiration An approved plan shall become null and void if the applicant fails to make Substantial Progress on the site within one year after the date of approval. The Stormwater Administrator may grant a single, one-year extension of this time limit, for good cause shown, upon receiving a written request from the applicant before the expiration of the approved plan.
In granting an extension, the Stormwater Administrator may require compliance with standards adopted since the original application was submitted unless there has been substantial reliance on the original permit and the change in standards would infringe the applicant's vested rights.
(E)
Appeals
(1)
Right of Appeal Any aggrieved person affected by any decision, order, requirement, or determination relating to the interpretation or application of this ordinance made by the Stormwater Administrator, may file an appeal to the town's designated Appeal Board within 30 days.
(2)
Filing of Appeal and Procedures Appeals shall be taken within the specified time period by filing a notice of appeal and specifying the grounds for appeal on forms provided by the town. The Stormwater Administrator shall transmit to the town's designated Appeal Board all documents constituting the record on which the decision appealed from was taken.
The hearing conducted by the town's designated Appeal Board shall be conducted in the nature of a quasi-judicial proceeding with all findings of fact supported by competent, material evidence.
(3)
Review by Superior Court Every decision of the town's designated Appeal Board shall be subject to Superior Court review by proceedings in the nature of certiorari. Petition for review by the Superior Court shall be filed with the Clerk of Superior Court within 30 days after the latter of the following:
(a)
The decision of the town's designated Appeal Board is filed; or
(b)
A written copy of the decision is delivered to every aggrieved party who has filed a written request for such copy with the (Chair or Secretary of the board that will hear appeals) at the time of its hearing of the case.
(A)
Standards Based on Project Density
(1)
Development Standards for Ultra Low-Density and Low-Density Projects Ultra Low-Density Projects and Low-Density Projects shall comply with each of the following standards, in addition to the General Standards found in subsection B in this section:
(a)
Stormwater runoff from the Development shall be transported from the Development by vegetated conveyances to the maximum extent practicable.
(b)
All Development and Redevelopment shall be located outside the Riparian Buffer Zone and the Flood Protection Zone. These Zones shall be in accordance with the following provisions:
i.
Except where other applicable buffer standards are more restrictive, the Riparian Buffer Zone shall extend a minimum of 50 feet landward of all Perennial and Intermittent Surface Waters. The most restrictive standards shall apply.
ii.
The Riparian Buffer Zone shall remain undisturbed unless otherwise permitted by this section.
iii.
The Flood Protection Zone shall extend throughout the FEMA 100-year floodplain as identified on the current Flood Insurance Rate Map (FIRM) published by FEMA. The Flood Protection Zone shall remain undisturbed unless otherwise permitted by this section.
iv.
No Development or Redevelopment is permitted within the Riparian Buffer Zone or the Flood Protection Zone except for stream bank or shoreline restoration or stabilization, water dependent structures, and public or private projects such as road crossings and installations, utility crossings and installations, and greenways, where no practical alternatives exist.
v.
Permitted activities within the Riparian Buffer Zone and the Flood Protection Zone shall minimize impervious coverage, direct runoff away from surface waters to achieve diffuse flow, and maximize the utilization of Non-structural BMPs.
vi.
Where the Riparian Buffer Zone and the Flood Protection Zone both are present adjacent to surface waters, the more restrictive shall apply.
(c)
The approval of the stormwater permit shall require an enforceable restriction on property usage that runs with the land, such as a recorded deed restriction or protective covenants, to ensure that future owners maintain the site consistent with the approved project plans.
(d)
All Development and Redevelopment projects required to manage storm water shall provide permanent on-site BMPs to lower the nitrogen export amounts as part of the storm water management plan. BMPs are to be in accordance with and as specified in the Design Manual.
(e)
For Low-Density Projects only, structural and Non-structural BMPs shall be used to ensure there is no net increase in peak flow leaving the site from the pre-Development conditions for the one-year, 24-hour storm. Runoff volume drawdown time shall be a minimum of 48 hours, but not more than 120 hours.
(f)
General engineering design criteria for all projects shall be in accordance with 15A NCAC 2H .1008(c), as explained in the Design Manual;
(g)
Developers must manage runoff so that after Development the site will not exceed the Target Curve Numbers in the table in subsection A.3 of this Section.
(h)
Ultra Low-Density Projects and Low-Density Projects may be eligible for target curve number credits, as described in subsection B, below.
(2)
Maximum Curve Number after Development Developers must manage runoff so that after Development the site will not exceed the following composite curve numbers, in accordance with procedures specified in the United States Department of Agriculture, Natural Resource Conservation Service, Technical Release 55, Urban Hydrology for Small Watersheds.
(3)
Target Curve Number Credits
(a)
Purpose The purpose of establishing a stormwater credit system is to provide incentives to implement better site design and locate new Development in a manner that causes less impact to aquatic resources. Certain Development practices reduce the generation of stormwater from the site; thereby reducing the size and cost of stormwater storage. In addition, these practices can provide partial removal of many pollutants. The credit system directly translates into cost savings and better protection of water resources.
(b)
Disconnected Impervious Surfaces Disconnected impervious surfaces, included permeable pavers, are encouraged. Runoff from these disconnected surfaces must be spread over pervious areas as sheet flow. As a credit, these disconnected impervious surfaces will be assigned the lower curve number specified by procedures of the United States Department of Agriculture, Natural Resources Conservation Service, Technical Release 55, Urban Hydrology for Small Watersheds.
(c)
Reforestation The planting of trees and shrubs is encouraged as a means of reducing runoff. As a credit for such practices, reforested areas in dedicated open space will be assigned the curve number for woods in good condition per procedures in the United States Department of Agriculture, Natural Resources Conservation Service (NRCS), Technical Release 55, Urban Hydrology for Small Watersheds. Areas planted with trees or shrubs must meet the following standards to qualify for the credit.
i.
Tree/Shrub Density and Spacing Planted trees or shrubs must meet the minimum Density and spacing standards of the NRCS, as specified in the Field Office Technical Guide. Existing trees or shrubs may be used toward meeting the planting standard.
ii.
Mulching An initial application of mulch is required for the area designated for reforestation. Mulching must meet applicable standards of the NRCS, as specified in the Field Office Technical Guide. Existing groundcover may be used toward meeting the mulching standard.
(d)
Cluster, Conservation and Open Space Subdivisions Cluster, conservation and open space subdivisions are encouraged. In applying curve number calculations to such developments, calculations must take into account the lots' proportionate share of right-of-way and permanent open space.
(e)
Calculations Regarding Ponds, Lakes, and Streams Surface water bodies may not be assigned a curve number for impervious surfaces. Instead, such water bodies will be removed from calculations so that developments are not penalized for their presence. Surface water bodies shall be included in calculations of project Density.
(4)
Development Standards for High-Density Projects High-Density Projects shall implement stormwater control measures that comply with each of the following standards, in addition to the General Standards found in subsection B of this Section:
(a)
The measures shall control and treat runoff from the first inch of rain. Runoff volume drawdown time shall be a minimum of 48 hours, but not more than 120 hours.
(b)
All structural stormwater treatment systems used to meet these requirements shall be designed to have a minimum of 85 percent average annual removal for Total Suspended Solids (TSS).
(c)
All Development and Redevelopment projects required to manage storm water shall provide permanent on-site BMPs to lower the nitrogen export amounts as part of the storm water management plan. BMPs are to be in accordance with and as specified in the Design Manual.
(d)
Structural and Non-structural BMPs shall be used to ensure there is no net increase in peak flow leaving the site from the pre-Development conditions for the one-year, 24-hour storm. Runoff volume drawdown time shall be a minimum of 48 hours, but not more than 120 hours.
(e)
General engineering design criteria for all projects shall be in accordance with 15A NCAC 2H .1008(c), as explained in the Design Manual;
(f)
All Development and Redevelopment shall be located outside the Riparian Buffer Zone and the Flood Protection Zone. These Zones shall be in accordance with the following provisions:
i.
Except where other applicable buffer standards are more restrictive, the Riparian Buffer Zone shall extend a minimum of 50 feet landward of all Perennial and Intermittent Surface Waters. The most restrictive standards shall apply.
ii.
The Riparian Buffer Zone shall remain undisturbed unless otherwise permitted by this section.
iii.
The Flood Protection Zone shall extend throughout the FEMA 100-year floodplain as identified on the current Flood Insurance Rate Map (FIRM) published by FEMA. The Flood Protection Zone shall remain undisturbed unless otherwise permitted by this section.
iv.
No Development or Redevelopment is permitted within the Riparian Buffer Zone or the Flood Protection Zone except for stream bank or shoreline restoration or stabilization, water dependent structures, and public or private projects such as road crossings and installations, utility crossings and installations, and greenways, where no practical alternatives exist.
v.
Permitted activities within the Riparian Buffer Zone and the Flood Protection Zone shall minimize impervious coverage, direct runoff away from surface waters to achieve diffuse flow, and maximize the utilization of Non-structural BMPs.
vi.
Where the Riparian Buffer Zone and the Flood Protection Zone both are present adjacent to surface waters, the more restrictive shall apply.
(g)
The approval of the stormwater permit shall require an enforceable restriction on property usage that runs with the land, such as recorded deed restrictions or protective covenants, to ensure that future Development and Redevelopment maintains the site consistent with the approved project plans. Buffer widths and locations shall be clearly delineated on all plans, final plat, and as-builts.
(B)
General Standards
(1)
Downstream Impact Analysis The downstream impact analysis must be performed in accordance with the "ten percent rule," and a copy of the analysis must be provided with the permit application. The purpose of the downstream impact analysis is to determine if the project will cause any impacts on flooding or channel degradation downstream of the project site. The analysis must include the assumptions, results and supporting calculations to show safe passage of post-Development design flows downstream. This analysis shall be performed at the outlet(s) of the site, and downstream at each tributary junction to the point(s) in the conveyance system where the area of the portion of the site draining into the system is less than or equal to ten percent of the total drainage area above that point.
The typical steps in the application of the ten percent rule are:
(a)
Using a topographic map, determine the point downstream where the proposed site equals ten percent of the total drainage area, called the ten percent point. Identify all tributary junctions between the downstream site boundary and the ten percent point. All points identified, as well as the outlet of the site, are known as ten percent rule comparison points.
(b)
Using a hydrologic model with existing land uses, determine the pre-Development peak runoff rate (cfs) for the ten-year design storm event at each comparison point.
(c)
Insert the proposed site design and proposed BMPs into the land uses and determine the post-Development peak runoff rate for the ten-year design storm at each comparison point.
(d)
If the post-Development peak discharge rate is equal to or less than pre-Development conditions at all comparison points, no further analysis is required.
(e)
If the ten-year post-Development peak discharge rate is greater than the pre-Development peak discharge rate at any comparison point, then one of the following actions must be taken:
i.
Revise the site plan for the proposed site to incorporate better use of natural features, design additional structural control facilities, reduce impervious cover, or alter timing of peak flows to lower post-Development flows at each comparison point to pre-Development levels.
ii.
Obtain a flow easement from downstream property owners through the ten percent point where the post-Development peak discharge rate is higher than the pre-Development peak discharge rate.
iii.
Work with the Town to determine other acceptable approaches to reduce the peak discharge rate for the ten-year storm.
For further information on the ten percent rule, refer to the Stormwater Manual, available online.
(2)
Standards for Stormwater Control Measures
(a)
Evaluation According to Contents of Design Manual All stormwater control measures and stormwater treatment practices (or BMPs) required under this ordinance shall be evaluated by the Stormwater Administrator according to the policies, criteria, and information, including technical specifications and standards and the specific design criteria for each stormwater practice, in the Design Manual. The Stormwater Administrator shall determine whether proposed BMPs will be adequate to meet the requirements of this ordinance.
(b)
Determination of Adequacy; Presumptions and Alternatives Stormwater treatment practices that are designed, constructed, and maintained in accordance with the criteria and specifications in the Design Manual will be presumed to meet the minimum water quality and quantity performance standards of this ordinance. Whenever an applicant proposes to utilize a practice or practices not designed and constructed in accordance with the criteria and specifications in the Design Manual, the applicant shall have the burden of demonstrating that the practice(s) will satisfy the minimum water quality and quantity performance standards of this ordinance. The Stormwater Administrator may require the applicant to provide the documentation, calculations, and examples necessary for the Stormwater Administrator to determine whether such an affirmative showing is made.
(c)
Separation from Seasonal High Water Table For BMPs that require a separation from the seasonal high-water table, the separation shall be provided by at least 12 inches of naturally occurring soil above the seasonal high-water table.
(d)
Changes to Stormwater Plan Based on Emerging Technologies Subject to the standards of this ordinance and other applicable law, a developer, in conjunction with the Development's lot owners, may submit an application to revise the approved stormwater plan so as to use new technologies or best management practices not available when the original stormwater plan was approved. Innovative technologies may be used on a demonstration basis for a period of one year while simultaneously collecting data on the effectiveness of the technology according to its design. If at the end of the demonstration period the technology is not performing according to its intended design functions as judged by the Stormwater Administrator, the developer must retrofit the site with a standard technology.
(3)
Additional Stormwater Management Measures In some cases, the Stormwater Administrator may require more stringent stormwater management measures where it is determined that additional measures are required to protect water quality and maintain existing and anticipated uses of these waters or to minimize off-site damage from stormwater runoff in accordance with the purpose of this ordinance as defined in Section 1.D.
(4)
Dedication of BMPS, Facilities & Improvements The Town may elect to accept dedication of any existing or future stormwater management facility for maintenance, provided such facility meets all the requirements of this ordinance and includes adequate and perpetual access and sufficient area, by easement or otherwise, for inspection and regular maintenance.
(5)
Low Impact Development Project Classifications
(a)
All Development or Redevelopment to which this ordinance applies may be submitted for classification as a Low Impact Development (LID) Project.
(b)
Classification as a Low Impact Development Project requires that the Development mimic the pre-developed hydrologic conditions defined as woods in good condition for the two-year, 24-hour storm, within ten percent. The pre-developed conditions shall include: its hydrologic balance, frequency distribution of high flows; magnitude, frequency, and duration of low flows; groundwater recharge (or infiltration), and flow length and pattern. The conditions shall be measured through the comparison between measures of the pre-developed and developed conditions including: total runoff volume, time of concentration, curve number, and peak discharge. Mimicry of the pre-developed hydrologic conditions may be achieved through such techniques as the minimization of disturbed areas and the use of on-lot distributed retention storage as described in more detail on Wake County's Stormwater Web Site under Low Impact Development.
(c)
The following techniques must be used to achieve LID classification:
i.
Natural site design in consultation with the town;
ii.
Site buildings, roads, and other land disturbance in the least environmentally-sensitive areas, preserving steep slopes, naturally well-draining soils, and other hydrologically valuable features undisturbed;
(d)
In addition, one of the following two techniques must be used to achieve LID classification:
i.
Bio-retention systems;
ii.
On-site infiltration;
(e)
In addition, at least two of the following techniques must be used to achieve LID classification:
i.
Retention of 50 percent of vegetated area, including open space, landscaping, or forests;
ii.
Use of Permeable Pavement for all private driveways, private roads, sidewalks, and parking areas in accordance with the North Carolina Stormwater Best Management Practices Design Manual;
iii.
Installation of one rain cistern per lot or three rain barrels per lot;
iv.
Installation of vegetated roofs;
v.
Increasing all buffers in the Riparian Buffer Zone or the Flood Protection Zone, whichever is greater, by 50 feet, in accordance with Section 4.A.1.b for Low-Density and Ultra Low-Density Projects and Section 4.A.4.f for High-Density Projects.
vi.
Use of reclaimed water for all buildings in accordance with State and local laws.
vii.
Use of innovative LID techniques subject to the approval of the town.
(f)
For Development and Redevelopment projects achieving classification as LID Projects, the Stormwater Administrator shall reduce or waive the stormwater permit fee if stipulated in the fee schedule duly adopted by the applicable governing board.
(g)
Upon collaboration with the Planning Board, the Stormwater Administrator may develop and apply an expedited review schedule for Development or Redevelopment projects achieving classification as LID Projects. Such a review schedule will depend upon the continued availability of local government resources to conduct expedited reviews.
(F)
Onsite Wastewater Onsite wastewater disposal systems shall be operated and maintained in accordance with the Regulations Governing Sewage Treatment and Disposal Systems in Wake County (Regulations) adopted by the Wake County Board of Human and Environmental Services and enforced by Wake County Onsite systems shall be inspected, permitted, repaired and/or professionally operated in accordance with the Regulations and in a manner to prevent adverse impacts to surface water and groundwater. The Town of Rolesville and WCES shall collaborate on identification of areas of high risk for system failures and associated need for environmental surveys, system repairs and possible service by municipal utilities.
(A)
Performance Security for Installation and Maintenance of Improvements The Town may, at its discretion, require the submittal of a performance bond, letter of credit from, or cash escrow account with a local bank prior to issuance of a permit. If improvements are not installed prior to approval of a record plat, the Town shall require the submittal of a performance bond, letter of credit from, or cash escrow account with a local bank prior to issuance of a permit. This performance security is required in order to ensure that the Structural BMPs are:
(a)
Installed by the permit holder as required by the approved stormwater management plan, and/or
(b)
Maintained by the Owner as required by the operation and maintenance agreement.
(1)
Form and Amount of Installation Performance Security The amount of an installation performance security must equal at least 125 percent of the estimated cost of the required improvements, including project management costs that have not been installed by the time of Record Plat submittal.
(2)
Form and Amount of Maintenance Performance Security The amount of a maintenance performance security must be at least 125 percent of the total estimated construction cost of the Structural BMPs approved under the permit.
(3)
Uses of Performance Security for Installation
(a)
Forfeiture Provisions The performance security shall contain forfeiture provisions for failure, after proper notice, to complete work within the time specified, or to initiate or maintain any actions which may be required of the applicant or Owner in accordance with this ordinance, approvals issued pursuant to this ordinance, or an operation and maintenance agreement established pursuant to this ordinance.
(b)
Default Upon default of the Owner to construct, maintain, repair and, if necessary, reconstruct any Structural BMP in accordance with the applicable permit or operation and maintenance agreement, the Stormwater Administrator shall obtain and use all or any portion of the security to make necessary improvements based on an engineering estimate. Such expenditure of funds shall only be made after requesting the Owner to comply with the permit or maintenance agreement. In the event of a default triggering the use of installation performance security, the Town shall not return any of the unused deposited cash funds or other security, which shall be retained for maintenance.
(c)
Costs in Excess of Performance Security If the Town takes action upon such failure by the applicant or Owner or property owners' association, the Town may collect from the applicant or Owner or property owners' association the difference between the amount of the reasonable cost of such action and the amount of the security held, in addition to any other penalties or damages due.
(d)
Refund Within 60 days of the final approval, the installation performance security shall be refunded to the applicant or terminated, except any amount attributable to the cost (plus 25 percent) of landscaping installation and ongoing maintenance associated with the BMPs covered by the security. Any such landscaping shall be inspected one year after installation with replacement for compliance with the approved plans and specifications and, if in compliance, the portion of the financial security attributable to landscaping shall be released.
(4)
Uses of Performance Security for Maintenance
(a)
Forfeiture Provisions The performance security shall contain forfeiture provisions for failure, after proper notice, to complete work within the time specified, or to initiate or maintain any actions which may be required of the applicant or Owner in accordance with this ordinance, approvals issued pursuant to this ordinance, or an operation and maintenance agreement established pursuant to this ordinance.
(b)
Default Upon default of the Owner to construct, maintain, repair and, if necessary, reconstruct any Structural BMP in accordance with the applicable permit or operation and maintenance agreement, the Stormwater Administrator shall obtain and use all or any portion of the security to make necessary improvements based on an engineering estimate. Such expenditure of funds shall only be made after requesting the Owner to comply with the permit or maintenance agreement. In the event of a default triggering the use of installation performance security, the Town shall not return any of the unused deposited cash funds or other security, which shall be retained for maintenance.
(c)
Costs in Excess of Performance Security If the Town takes action upon such failure by the applicant or Owner or property owners' association, the Town may collect from the applicant or Owner or property owners' association the difference between the amount of the reasonable cost of such action and the amount of the security held, in addition to any other penalties or damages due.
(B)
As-Built Plans and Final Approval Upon completion of a project, the applicant shall certify that the completed project is in accordance with the approved stormwater management plans and designs, and shall submit actual "as built" plans in both digital file (one copy) and mylar formats (three mylars) for all stormwater management facilities or practices after final construction is completed.
The plans shall show the final design specifications for all stormwater management facilities and practices and the field location, size, depth, and planted vegetation of all measures, controls, and devices, as installed. The designer of the stormwater management measures and plans shall certify, under seal, that the as-built stormwater measures, controls, and devices are in compliance with the approved stormwater management plans and designs and with the requirements of this ordinance. A final inspection and approval by the Stormwater Administrator shall occur before the release of any performance securities.
No certificate of compliance or occupancy shall be issued without final as-built plans and a final inspection, or performance guarantees, and approval by the Stormwater Administrator.
(C)
Maintenance of Improvements
(1)
Maintenance Required All structural and Non-structural BMPs must be maintained so they will continue to serve their intended functions.
(2)
Parties Responsible for Maintenance of Structural BMPs
(a)
The developer must maintain structural and Non-structural BMPs until accepted by a property owners' association or lot Owner. All Structural BMPs required for residential subdivisions, including those on individual lots, must be accepted for maintenance by a property owners' association. The developer must disclose which party will be responsible for continued maintenance on the record plat and on the stormwater management plan.
(b)
Before improvements are accepted for maintenance by the property owners' association or lot Owner, the developer or the developer's engineer or other representative, as authorized by Statute, must certify to the property owners' association or lot Owner and to the Town that improvements are complete and functioning as designed.
(c)
If a property owners' association or similar legal entity is to be responsible for the maintenance and control of BMPs, it shall be established so that it has clear legal authority to maintain and exercise control over, including the power to compel contributions from subdivision property owners to cover their proportionate shares of the costs associated with the maintenance of the BMPs. Such association shall be established prior to approval of the final plat.
(d)
Documents providing for the establishment of a homeowners' association or similar legal entity in accord with this ordinance shall be approved by the Stormwater Administrator before any plat is recorded.
(3)
Maintenance Plan
(a)
The developer must record, and reference on the record plat, a maintenance plan that instructs the property owners' association or lot Owner about the annual maintenance tasks and associated costs for at least a 20-year period.
(b)
It will be the responsibility of the property owners' association or lot Owner to update the maintenance plan at least every ten years in perpetuity.
(4)
Maintenance Agreement
(a)
The developer must record, and reference on the record plat, a maintenance agreement, or restrictive covenant that sets forth the property owners' association's or lot Owner's continuing responsibilities for maintenance, including specifying how cost will be apportioned among lot owners served.
(b)
The maintenance agreement must provide that the association and its individual members are jointly and severally liable for maintenance.
(c)
The maintenance agreement shall grant to the Town a right of entry in the event that the Stormwater Administrator has reason to believe it has become necessary to inspect, monitor, maintain, repair or reconstruct the structural and Non-structural BMPs; however, in no case shall the right of entry, of itself, confer an obligation on the Town to assume responsibility for the structural and Non-structural BMPs.
(5)
Maintenance Easement The developer must record easements for access, maintenance and inspections by any property owners' association and by the town.
(6)
Annual Maintenance Inspection and Report
(a)
The person or entity responsible for maintenance of any structural and Non-structural BMPs installed pursuant to this ordinance shall submit to the Stormwater Administrator an annual inspection report from one of the following persons performing services only in their area of competence: a qualified registered North Carolina professional engineer, surveyor, landscape architect, soil scientist, aquatic biologist, or person certified by the North Carolina Cooperative Extension Service for stormwater treatment practice inspection and maintenance.
(b)
Annual inspection reports are due by June 30 of each year. The first annual report is due by June 30 following one year after approval of the as-built plan. For Structural BMPs located on properties subject to property owners' association agreements, the property owners' association is responsible for collecting and submitting information on all individual lot Structural BMPs installed pursuant to this ordinance on an annual basis. The inspection report shall contain all of the following:
The name and address of the land Owner; the recorded book and page number of the lot of each structural and Non-structural BMPs; a statement that an inspection was made of all structural and Non-structural BMPs; the date the inspection was made; a statement that all inspected structural and Non-structural BMPs are performing properly and are in compliance with the terms and conditions of the approved maintenance agreement required by this ordinance; and the original signature and seal of the engineer, surveyor, or landscape architect.
(c)
All inspection reports shall be on forms supplied by the Stormwater Administrator. An original inspection report shall be provided to the Stormwater Administrator by the first day of July following the issuance of a certificate of occupancy. Subsequent annual reports shall be due on the first day of July each year.
(D)
Inspection Program Inspections and inspection programs by the Town may be conducted or established on any reasonable basis, including but not limited to routine inspections; random inspections; inspections based upon complaints or other notice of possible violations; and joint inspections with other agencies inspecting under environmental or safety laws. Inspections may include, but are not limited to, reviewing maintenance and repair records; sampling discharges, surface water, groundwater, and material or water in BMPs; and evaluating the condition of BMPs.
If the Owner or occupant of any property refuses to permit such inspection, the Stormwater Administrator shall proceed to obtain an administrative search warrant pursuant to G.S. § 15-27.2 or its successor. No person shall obstruct, hamper or interfere with the Stormwater Administrator while carrying out his or her official duties, including inspections on private property. Refusal of Owner or occupant of any property to permit such inspection is a violation of this ordinance.
(E)
Signage Where appropriate in the determination of the Stormwater Administrator to assure compliance with this ordinance, Structural BMPs shall be posted with a conspicuous sign stating who is responsible for required maintenance and annual inspection. The sign shall be maintained so as to remain visible and legible.
(F)
Records of Installation and Maintenance Activities The Owner of each Structural BMP shall keep records of inspections, maintenance, and repairs for at least five years from the date of creation of the record and shall submit the same upon reasonable request to the Stormwater Administrator.
(G)
Nuisance The Owner of each stormwater BMP, whether structural or Non-structural BMP, shall maintain it so as not to create or result in a nuisance condition.
(A)
General
(1)
Authority to Enforce The provisions of this ordinance shall be enforced by the Stormwater Administrator, his or her designee, or any authorized agent of the town. Whenever this section refers to the Stormwater Administrator, it includes his or her designee as well as any authorized agent of the town.
(2)
Violation Unlawful Any failure to comply with an applicable requirement, prohibition, standard, or limitation imposed by this ordinance, or the terms or conditions of any permit or other Development or Redevelopment approval or authorization granted pursuant to this ordinance, is unlawful and shall constitute a violation of this ordinance.
(3)
Each Day a Separate Offense Each day that a violation continues shall constitute a separate and distinct violation or offense.
(4)
Responsible Persons/Entities Any person who erects, constructs, reconstructs, alters (whether actively or passively), or fails to erect, construct, reconstruct, alter, repair or maintain any structure, BMP, practice, or condition in violation of this ordinance shall be subject to the remedies, penalties, and/or enforcement actions in accordance with this section. Persons subject to the remedies and penalties set forth herein may include any architect, engineer, builder, contractor, developer, agency, or any other person who participates in, assists, directs, creates, causes, or maintains a condition that results in or constitutes a violation of this ordinance, or fails to take appropriate action, so that a violation of this ordinance results or persists; or an Owner, any tenant or occupant, or any other person, who has control over, or responsibility for, the use or Development of the property on which the violation occurs.
For the purposes of this article, responsible person(s) shall include but not be limited to:
(a)
Person Maintaining Condition Resulting In or Constituting Violation An architect, engineer, builder, contractor, developer, agency, or any other person who participates in, assists, directs, creates, causes, or maintains a condition that constitutes a violation of this ordinance, or fails to take appropriate action, so that a violation of this ordinance results or persists.
(b)
Responsibility for Land or Use of Land The Owner of the land on which the violation occurs, any tenant or occupant of the property, any person who is responsible for stormwater controls or practices pursuant to a private agreement or public document, or any person, who has control over, or responsibility for, the use, Development or Redevelopment of the property.
(B)
Remedies and Penalties The remedies and penalties provided for violations of this ordinance, whether civil or criminal, shall be cumulative and in addition to any other remedy provided by law, and may be exercised in any order.
(1)
Remedies
(a)
Withholding of a Building Permit The Stormwater Administrator or other authorized agent may refuse to issue a building permit for a building or other improvements constructed or being constructed on any Development site and served by the Structural BMP in question until the applicant or other responsible person has taken the remedial measures set forth in the notice of violation or has otherwise cured the violations described therein.
(b)
Withholding of Certificate of Occupancy The Stormwater Administrator or other authorized agent may refuse to issue a certificate of occupancy for the building or other improvements constructed or being constructed on the site and served by the stormwater practices in question until the applicant or other responsible person has taken the remedial measures set forth in the notice of violation or has otherwise cured the violations described therein.
(c)
Disapproval of Subsequent Permits and Development Approvals As long as a violation of this ordinance continues and remains uncorrected, the Stormwater Administrator or other authorized agent may withhold, and the Board of Commissioners may disapprove, any request for permit or Development approval or authorization provided for by this ordinance or the zoning and subdivision ordinances for the land on which the violation occurs.
(d)
Injunction, Abatements, etc. The Stormwater Administrator, with the written authorization of the Town Manager, may institute an action in a court of competent jurisdiction for a mandatory or prohibitory injunction and order of abatement to correct a violation of this ordinance. Any person violating this ordinance shall be subject to the full range of equitable remedies provided in the General Statutes or at common law.
(e)
Correction as Public Health Nuisance, Costs as Lien, etc. If the violation is deemed dangerous or prejudicial to the public health or public safety and is within the geographic limits prescribed by North Carolina G.S. § 160A-193, the Stormwater Administrator, with the written authorization of the Town Manager, may cause the violation to be corrected and the costs to be assessed as a lien against the property.
(f)
Stop Work Order The Stormwater Administrator may issue a stop work order to the person(s) violating this ordinance. The stop work order shall remain in effect until the person has taken the remedial measures set forth in the notice of violation or has otherwise cured the violation or violations described therein. The stop work order may be withdrawn or modified to enable the person to take the necessary remedial measures to cure such violation or violations.
(2)
Civil Penalties Violation of this ordinance may subject the violator to a civil penalty to be recovered in a civil action in the nature of a debt if the violator does not pay the penalty within 30 days after notice of the violation is issued by the Stormwater Administrator. Civil penalties may be assessed up to the full amount of penalty to which the Town of Rolesville is subject for violations of its Phase II Stormwater permit, or if no Phase II Stormwater permit exists for the jurisdiction, civil penalties may be assessed up to the full amount allowed by law.
(3)
Criminal Penalties Violation of this ordinance may be enforced as a misdemeanor subject to the maximum fine permissible under North Carolina law. A civil penalty may be assessed from the date of the violation.
Each day of a continuing violation constitutes a separate violation.
(C)
Procedures
(1)
Initiation/Complaint Whenever a violation of this ordinance occurs, or is alleged to have occurred, any person may file a written complaint. Such complaint shall state fully the alleged violation and the basis thereof, and shall be filed with the Stormwater Administrator, who shall record the complaint. The complaint shall be investigated promptly by the Stormwater Administrator.
(2)
Inspection The Stormwater Administrator shall have the authority, upon presentation of proper credentials, to enter and inspect any land, building, structure, or premises to ensure compliance with this ordinance.
(3)
Notice of Violation and Order to Correct When the Stormwater Administrator finds that any building, structure, or land is in violation of this ordinance, the Stormwater Administrator shall notify, in writing, the property Owner or other person violating this ordinance. The notification shall indicate the nature of the violation, contain the address or other description of the site upon which the violation is occurring, order the necessary action to abate the violation, and give a deadline for correcting the violation. If civil penalties are to be assessed, the notice of violation shall also contain a statement of the civil penalties to be assessed, the time of their accrual, and the time within which they must be paid or be subject to collection as a debt.
The Stormwater Administrator may deliver the notice of violation and correction order personally, by the Code Enforcement Officer, by certified or registered mail, return receipt requested, or by any means authorized for the service of documents by Rule 4 of the North Carolina Rules of Civil Procedure.
If a violation is not corrected within a reasonable period of time, as provided in the notification, the Stormwater Administrator may take appropriate action under this ordinance to correct and abate the violation and to ensure compliance with this ordinance.
(4)
Extension of Time A person who receives a notice of violation and correction order, or the Owner of the land on which the violation occurs, may submit to the Stormwater Administrator a written request for an extension of time for correction of the violation. On determining that the request includes enough information to show that the violation cannot be corrected within the specified time limit for reasons beyond the control of the person requesting the extension, the Stormwater Administrator may extend the time limit as is reasonably necessary to allow timely correction of the violation, up to, but not exceeding 14 days. The Stormwater Administrator may grant seven-day extensions in addition to the foregoing extension if the violation cannot be corrected within the permitted time due to circumstances beyond the control of the person violating this ordinance. The Stormwater Administrator may grant an extension only by written notice of extension. The notice of extension shall state the date prior to which correction must be made, after which the violator will be subject to the penalties described in the notice of violation and correction order.
(5)
Enforcement After Time to Correct After the time has expired to correct a violation, including any extension(s) if authorized by the Stormwater Administrator, the Stormwater Administrator shall determine if the violation is corrected. If the violation is not corrected, the Stormwater Administrator may act to impose one or more of the remedies and penalties authorized by this ordinance.
(6)
Emergency Enforcement If delay in correcting a violation would seriously threaten the effective enforcement of this ordinance or pose an immediate danger to the public health, safety, or welfare, then the Stormwater Administrator may order the immediate cessation of a violation. Any person so ordered shall cease any violation immediately. The Stormwater Administrator may seek immediate enforcement, without prior written notice, through any remedy or penalty authorized by this article.
(7)
Variances
(a)
Any person may petition the Town for a variance granting permission to use the person's land in a manner otherwise prohibited by this ordinance. To qualify for a variance, the petitioner must show all of the following:
(i)
Unnecessary hardships would result from strict application of this ordinance.
(ii)
The hardships result from conditions that are peculiar to the property, such as the location, size, or topography of the property.
(iii)
The hardships did not result from actions taken by the petitioner.
(iv)
The requested variance is consistent with the spirit, purpose, and intent of this ordinance; will secure public safety and welfare; and will preserve substantial justice.
(b)
The Town may impose reasonable and appropriate conditions and safeguards upon any variance it grants.
(c)
Statutory exceptions Notwithstanding subdivision (a) of this section, exceptions from the Riparian Buffer Zone and Flood Protection Zone requirements as well as the deed restrictions and protective covenants requirements shall be granted in any of the following instances:
i.
When there is a lack of practical alternatives for a road crossing, railroad crossing, bridge, airport facility, or utility crossing as long as it is located, designed, constructed, and maintained to minimize disturbance, provide maximum nutrient removal, protect against erosion and sedimentation, have the least adverse effects on aquatic life and habitat, and protect water quality to the maximum extent practicable through the use of BMPs.
ii.
When there is a lack of practical alternatives for a stormwater management facility; a stormwater management pond; or a utility, including, but not limited to, water, sewer, or gas construction and maintenance corridor, as long as it is located 15 feet landward of all Perennial and Intermittent Surface Waters and as long as it is located, designed, constructed, and maintained to minimize disturbance, provide maximum nutrient removal, protect against erosion and sedimentation, have the least adverse effects on aquatic life and habitat, and protect water quality to the maximum extent practicable through the use of BMPs.
iii.
A lack of practical alternatives may be shown by demonstrating that, considering the potential for a reduction in size, configuration, or Density of the proposed activity and all alternative designs, the basic project purpose cannot be practically accomplished in a manner which would avoid or result in less adverse impact to surface waters.
(A)
Illicit Discharges and Connections
(1)
Illicit Discharges No person shall cause or allow the discharge, emission, disposal, pouring, or pumping directly or indirectly to any stormwater conveyance, the waters of the State, or upon the land in manner and amount that the substance is likely to reach a stormwater conveyance or the waters of the State, any liquid, solid, gas, or other substance, other than stormwater; provided that non-stormwater discharges associated with the following activities are allowed and provided that they do not significantly impact water quality:
(a)
Water line flushing;
(b)
Landscape irrigation;
(c)
Diverted stream flows;
(d)
Rising ground waters;
(e)
Uncontaminated ground water infiltration (as defined at 40 CFR 35.2005(20));
(f)
Uncontaminated pumped ground water;
(g)
Discharges from potable water sources;
(h)
Foundation drains;
(i)
Air conditioning condensation;
(j)
Irrigation water;
(k)
Springs;
(l)
Water from crawl space pumps;
(m)
Footing drains;
(n)
Lawn watering;
(o)
Individual residential car washing;
(p)
Flows from riparian habitats and wetlands;
(q)
Dechlorinated swimming pool discharges;
(r)
Street wash water; and
(s)
Other non-stormwater discharges for which a valid NPDES discharge permit has been approved and issued by the State of North Carolina, and provided that any such discharges to the municipal separate storm sewer system shall be authorized by the town.
Prohibited substances include but are not limited to: oil, anti-freeze, chemicals, animal waste, paints, garbage, and litter.
(2)
Illicit Connections
(a)
Connections to a stormwater conveyance or stormwater conveyance system that allow the discharge of non-stormwater, other than the exclusions described in subsection (A) above, are unlawful. Prohibited connections include, but are not limited to: floor drains, waste water from washing machines or sanitary sewers, wash water from commercial vehicle washing or steam cleaning, and waste water from septic systems.
(b)
Where such connections exist in violation of this section and said connections were made prior to the adoption of this provision or any other ordinance prohibiting such connections, the property Owner or the person using said connection shall remove the connection within one year following the effective date of this ordinance. However, the one-year grace period shall not apply to connections which may result in the discharge of hazardous materials or other discharges which pose an immediate threat to health and safety, or are likely to result in immediate injury and harm to real or personal property, natural resources, wildlife, or habitat.
(c)
Where it is determined that said connection:
i.
May result in the discharge of hazardous materials or may pose an immediate threat to health and safety, or is likely to result in immediate injury and harm to real or personal property, natural resources, wildlife, or habitat, or
ii.
Was made in violation of any applicable regulation or ordinance, other than this section;
The Stormwater Administrator shall designate the time within which the connection shall be removed. In setting the time limit for compliance, the Stormwater Administrator shall take into consideration:
i.
The quantity and complexity of the work,
ii.
The consequences of delay,
iii.
The potential harm to the environment, to the public health, and to public and private property, and
iv.
The cost of remedying the damage.
(3)
Spills Spills or leaks of polluting substances released, discharged to, or having the potential to released or discharged to the stormwater conveyance system, shall be contained, controlled, collected, and properly disposed. All affected areas shall be restored to their preexisting condition.
Persons in control of the polluting substances immediately prior to their release or discharge, and persons owning the property on which the substances were released or discharged, shall immediately notify the Rolesville Fire Chief of the release or discharge, as well as making any required notifications under state and federal law. Notification shall not relieve any person of any expenses related to the restoration, loss, damage, or any other liability which may be incurred as a result of said spill or leak, nor shall such notification relieve any person from other liability which may be imposed by state or other law.
(4)
Nuisance Illicit discharges and illicit connections which exist within the planning jurisdiction of the Town of Rolesville are hereby found, deemed, and declared to be dangerous or prejudiced to the public health or public safety and are found, deemed, and declared to be public nuisances. Such public nuisances shall be abated in accordance with the procedures set forth in sections 10-106 and 10-107 of the Code of the Town of Rolesville.
The purpose of this section is to maintain the long-term safety and mobility function of the proposed U.S. 401 Bypass (R-2814); to limit the number of conflict points and thereby, reduce the need for additional crossover locations and traffic signals; to promote improved pedestrian and vehicular circulation; to encourage land assembly and the most desirable use of land in accordance with the Town of Rolesville Community Plan; to encourage designs which produce a desirable relationship between individual buildings; and to control visibility obstructions and clutter.
The Special Highway Overlay District (hereby know as SHOD) shall be overlays to the existing underlying districts as shown on the official zoning map and as such, the provisions (development standards, access, and internal circulation) of the SHOD shall serve as a supplement to the underlying district regulations and provisions. The uses permitted within the SHOD (whether by right, special use permit, or conditional use permit) shall be as permitted within Article 5 of this Unified Development Ordinance. Where there is any conflict between provisions or requirements between the SHOD or the underlying zoning, the more restrictive shall apply.
The SHOD boundaries shall be established on the official zoning map of the Town of Rolesville and are hereby as part of the proposed U.S. 401 Bypass route as presented by the North Carolina Department of Transportation under project number R-2814. The development standards within this Article shall apply to all property with frontage of the approved corridor existing from Louisbury Road to NC 96. If a parcel of land has any part within the 25 feet buffer of this proposed road, all structures and site design elements listed within this ordinance shall pertain to the entire property. The official map of the U.S. 401 Bypass route corridor shall be located and maintained by the Zoning Administrator.
The development standards herein shall apply to all property within the SHOD except for the following
A.
Residential uses and farm related uses located on individual parcels of land that are not part of a subdivision, commercial, or industrial development.
B.
Property that has been developed prior to the effective date of this ordinance.
In addition to the existing development standards within the Unified Development Ordinance, the following additional standards shall apply in all underlying zoning districts within the SHOD.
A.
Façades: All structures must have façades that shall either be of brick, fiber cement board, metal, glass, or stone. No other façades materials shall be installed unless otherwise approved by the Town Board of Commissioners.
B.
Roof: All structures must have roofing made of asphalt, slate, rubber membrane, or metal.
C.
Mechanical Equipment:
1.
Located on the ground - All mechanical equipment located on the ground shall be screened with a façade similar in color and material as the exterior of the primary structure. The height of the screening wall shall be no less than the highest point of the mechanical equipment being screened. All access points to the mechanical equipment shall be serviced by gates made of either metal or a composite material. Wooden gates will not be permitted.
2.
Located on the roof - All mechanical equipment located on the roof shall be screened with a parapet or low wall with a façade in similar color as the exterior of the building it is located on. The height of the screening wall shall be no less than the highest point of the mechanical equipment being screened.
D.
Dumpster and Waste Disposal Equipment: All dumpsters and waste disposal equipment shall be screened with a façade similar in color and material as the exterior of the primary structure. The height of the screening wall shall be no less than the highest point of the dumpster or waste disposal equipment being screened. All access points to the dumpster and waste disposal equipment shall be serviced by opaque screened gates made of either metal or a composite material. Wooden gates will not be permitted
E.
Location of primary buildings on the property: All buildings are encouraged not to have the service area (dumpsters, loading docks, and the like) side of the building face any public road.
F.
Landscaping:
1.
Grasses - Drought tolerant grasses (Bermuda, zoysia, and the like) are encouraged to be sowed or laid down in turf areas.
2.
Berms - In transitional areas where there are adjacent residential uses that exist, berms and swales shall be required. Such berms shall have a slope no greater than a 2:1 slope and shall not be over 48 inches in height measured from the ground up. All berms shall be landscaped and may be counted when meeting landscape buffering setback requirements.
3.
Tree survey - On parcels of land greater than ten acres in size at the time the time a application is submitted, a tree survey shall be submitted that was performed by a certified landscape architect or arborist. This tree survey shall note all trees with a six feet or greater circumference. The size of a parcel of land shall be calculated by the existing acreage when the development review application is submitted.
4.
Maintenance of landscaping - All vegetation planted shall be bonded for 125 percent of the cost of materials and installation for the first two years after site construction completion.
G.
Stormwater Devices: All retention and detention ponds not subject to recreational use shall be landscaped with a five feet thick vegetative buffer. This buffer shall be of vegetation planted at maturity and shall be opaque in nature. The buffer shall also consist of a fence that is similar in color as the exterior of the primary structure. If the fence is a chain linked fence then it shall be of the PVC coated variety.
H.
Utilities: All existing and new above-ground electrical, telephone, and cable utility lines shall be placed underground. All improvements to existing and new utilities when crossing public or private roads shall also be placed underground.
I.
On-site Parking:
1.
Connectivity - Connectivity via service roads and cross access agreements to adjacent properties is required.
2.
Markings - All parking lot, safety, and directional markings within parking areas and public or private roads shall be of the thermo-stripe material paint
3.
Overnight parking - The overnight parking of all motor vehicles (including over the road tractors, trailers, recreational vehicles, and the like) is prohibited. Signs stating prohibiting overnight parking shall be erected at the entrance of the property at the cost of the property owner.
J.
Energy and Environmental Design: The design of all structures is encouraged to meet LEED (Leadership in Energy and Environmental Design) standards.
Amendments
10-4-04 to entire document; 5-1-06 to § 7.2 through TA06-05; 3-20-07 to § 7.1.4 through
TA07-03; 7-17-07 to § 7.2.5.6 through TA07-06; 10-01-07 to § 7.1 through TA07-08;
2-17-09 to § 7.1 through TA09-01; 2-17-09 to § 7.4 through TA09-02; 5-19-09 to § 7.1
through TA09-03; 8-3-09 to § 7.5 through TA09-05; 10-20-09 to § 7.6 through TA08-02;
7-2-12 to § 7.1.1 through TA12-02; 10-1-12 to § 7.5.4 through TA12-06; 3-22-16 to
§ 7.4 through TA16-01.
- OVERLAY DISTRICT STANDARDS
The following District shall be responsible for maintaining the character and aesthetic qualities of the commercial town center of Rolesville. The following standards shall be enforced for any construction, reconstruction, alteration, or enlargement of the exterior of any structure within this district (see Figure 1).
7.4.1
No building shall have a footprint of more than 15,000 square feet (note: total building size may be larger if the structure is built with multiple stories).
7.4.2
The maximum allowable building height shall be 35 feet.
7.4.3
Additional building height may be permitted at a rate of one foot in height for every one foot of additional setback from the front building line for any portion of the building that is greater than 35 [feet] in height. However, in no event shall any structure be more than 45 feet in height.
7.4.4
Each building must have a height of at least 15 feet. All buildings are strongly encouraged to have at least two stories.
7.4.5
The maximum allowable height for any steeple or decorative tower shall be 75 feet which shall be measured from the ground to the top of the structure.
7.4.6
All buildings must be oriented toward the primary access street.
7.4.7
Except when preexisting recorded utility easements or other such instruments preclude strict adherence to such, buildings shall be built within the following range of distances from the edge of the right-of-way of the primary access street:
(A)
Commercial and mixed use buildings: Zero — five feet
(B)
Community facilities and institutional buildings: five - 15 feet
(C)
Religious and residential buildings: ten - 25 feet
So as to maintain harmony with other development in the district, and only in cases where the standards above cannot be met, these requirements may be adjusted by the Zoning Administrator only to the least amount necessary to accommodate the preexisting condition. Adjustments of more than ten feet above or below the adopted range shall be subject to the approval of a variance by the Board of Adjustment.
7.4.8
Parallel on-street parking is strongly encouraged. Shared parking is encouraged.
7.4.9
All off-street parking shall be located behind or to the side of buildings. Parking and access shall not occupy more than one-third of the frontage of the adjacent building or no more than 65 feet, whichever is less.
7.4.10
The neighborhood and community-oriented commercial and civic uses permitted are (but not limited to) retail services such as apparel shops, shoe stores, gift shops, video stores, news dealers, book stores and antique shops; personal services such as barber shops and beauty shops; clothing services such as dry cleaners, shoe repair, fabric shops, and tailoring; food sales and service such as bakeries, convenience stores, grocery stores, restaurants, delicatessens, and ice cream shops; banks, professional offices, and medical offices; educational uses such as schools, public libraries, and day care centers; governmental, civic, and institutional uses such as post offices, police and fire stations, community centers, and houses of worship; retirement centers, independent and assisted living facilities, and skilled nursing facilities.
7.4.11
All residential uses allowed in the UDO are hereby permitted.
7.4.12
Live-work units are allowed as of right.
7.4.13
Commercial buildings are encouraged to mix uses by providing retail and/or office uses on the ground floor, and office and/or residential uses on upper floors.
7.4.14
All materials, colors, and architectural details used on the exterior of a building shall be compatible with each other and with the building's style.
7.4.15
Façades visible from existing or proposed public rights of way shall be brick but may contain accent elements of stucco, textured tinted concrete block, tile, native stone, columns and/or canvas canopies. The primary façade material used in construction shall compose, as a minimum, 75 percent of the non-glass wall surface.
7.4.16
All façade colors shall be of low reflectance, subtle, neutral, or earth tone colors. The use of high intensity colors, metallic colors, black or fluorescent colors, is prohibited. High intensity whites used for the façade shall be prohibited unless low reflecting, subtle, neutral or earth tone trim is used. Building trim and accent areas may feature brighter colors, including primary colors. However, neon tubing shall not be used for building trim or accent elements. Roof colors shall be of low reflectance and non-metallic.
7.4.17
Buildings with multiple storefronts shall be unified through the use of architecturally compatible materials, colors, details, awnings, signage, and lighting fixtures.
7.4.18
Windows, doors, display windows and/or arcades shall make up at least 40 percent of the street façade on the first story as measured from two feet above grade to ten feet above grade. Blank walls are not permitted adjacent to streets.
7.4.19
Any wall visible from an existing or proposed public right of way shall incorporate at a minimum two architectural accent elements of doors, windows, columns, pre-cast trim, color changes, texture changes, recesses and/or material changes such as wood, brickwork, stucco, tile, and/or canvas canopies. Ten contiguous linear feet of wall shall be the maximum length without an architectural accent element.
7.4.20
Windows shall be recessed and shall include visually prominent sills, shutters, or other such forms of framing and trim.
7.4.21
Fixed or retractable awnings are permitted at ground floor level and on upper floors where appropriate, if they complement a building's architectural style, materials, colors, and details, and are designed to be an integral part of the façade.
7.4.22
Lighting fixtures attached to the exterior of a building shall be architecturally compatible with the style, materials, colors, and details of the building, and shall comply with building codes.
7.4.23
Façades shall be lit from the exterior, and as a general rule, lights should be concealed through shielding or recessed behind architectural features.
7.4.24
The use of low pressure sodium, fluorescent, or mercury vapor lighting either attached to buildings or to light the exterior of buildings shall be prohibited.
7.4.25
All air conditioning units, HVAC systems, exhaust pipes and stacks, elevator housing, telecommunications towers, satellite dishes, and other telecommunications receiving devices shall be thoroughly screened from view from the public right-of-way and from adjacent properties by using walls, fencing, roof elements, penthouse-type screening devices, or landscaping.
7.4.26
Each building shall have a sidewalk along its primary access road. To ensure safe and comfortable pedestrian access, this sidewalk shall have a minimum width of at least six feet that is unobstructed by lampposts, tree wells, signs, tables, chairs, benches, fire hydrants, trash cans, or other obstacles.
7.4.27
All sidewalks shall be buffered from the adjacent street by means of a six foot wide grassy strip. Where on-street parking is provided, this requirement may be reduced or waived at the discretion of the Zoning Administrator.
7.4.28
At least one main entrance of each building shall face and open directly onto this sidewalk, and shall have doors that are operable during regular business hours.
7.4.29
All commercial and mixed use buildings shall have a first story that is at grade with the adjacent sidewalk.
7.4.30
Dumpsters, where used, shall be located entirely on the subject property and shall be screened from the view of passing motorists and pedestrians, and from adjacent lot. Acceptable screening materials include decorative masonry, brick, fully opaque treated wood, or stone. The service entrance of the dumpster enclosure shall be opaque and may be made of wood.
7.4.31
The area designated as the Town Center Overlay District shall originate at the intersections of Main and Young Streets and shall be according to the boundaries displayed in this section in Figure 1 below.
To establish requirements for development within the Neighborhood Conservation (NC) Overlay District. The intent is to protect the historic nature and character of the residential structures while allowing minimal intensity uses of a non-residential nature.
(A)
Uses permitted by right.
(1)
Single family residential
(2)
Duplex residential
(3)
Home occupations
(4)
Temporary uses
(B)
Uses permitted by a special use permit approved by the Board of Commissioners pursuant to Section 3.6 and Article 8.
(1)
Office, professional, and government
(2)
Bed and breakfast facilities
(3)
Child daycare facilities
(4)
Cultural or Community facility
Standards established for the NC District are intended to protect adjacent residential areas and, where applicable, to protect or enhance the residential use and residential character of the NC District itself.
The following standards shall be supplemental to any other standards in the UDO and shall apply to all new residential and non-residential development and substantial modifications to existing structures intended for residential and non-residential uses. For the purpose of this section, substantial modifications shall be defined as any work that involves the alteration of the building's footprint, construction of additional stories or accessory structures, parking in excess of or different in character from typical residential parking, or changes in roof pitch.
(a)
Standards for new and/or modified residential and non-residential structures:
(1)
Appearance: New principal and accessory structures shall be predominantly designed and constructed with a residential style using features common on residential. Residential style features to be considered include roof pitch, façade materials, and size, type and placement of windows and doors.
(2)
Materials: Acceptable façade materials include wood, brick, stone, stucco, vinyl and "hardi-plank" of fiberglass and cement. The materials used should give the exterior a residential appearance. Metal siding and concrete block shall not be used as exterior, finish material.
(3)
Roof pitch: Expansions to an existing building shall have a roof pitch equal to or exceeding that of the existing principal structure's main roof. Roofs without pitch, i.e., flat roofs, shall not be used for principal structures. For new principal structures, the minimum acceptable roof pitch is four inches of height for each 12 inches of length.
(4)
Windows and doors: Window and door placement, type and size shall be consistent with that normally found on residential structures.
(b)
Standards for new and/or modified non-residential structures only:
(1)
Accessory uses: Accessory uses clearly subordinate to the principal use of the property and located entirely within an enclosed structure shall be permitted. Outdoor storage of goods and materials is not permitted.
(2)
Adaptive reuse: The reuse of residential structures for non-residential uses is encouraged.
(3)
Parking: Parking shall be limited to the side and rear of the principal structure, outside of required buffers. The Town Board of Commissioners may allow off-street handicap parking to be located in the front yard under special circumstances considering the existing means of ingress and egress with the principal structure.
(4)
Buffers: Whenever a new non-residential use is proposed for a lot adjacent to a residentially zoned lot that contains a principal residential use, and such use may result in a traffic and/or parking pattern not typical of residential uses, then the new use shall screen all driveways and parking areas from the view of adjacent residential uses. Acceptable buffers shall be "Type A," as defined in Section 14.6. Full opaque fencing, with a minimum height of six feet, shall be erected around the entire perimeter of the outdoor playspace for child daycare facilities.
(5)
Building size: No single building or a combination of buildings on a single parcel shall exceed 5,000 square feet of heated floor space. Total unheated ground level floor space, including accessory buildings, shall not exceed 1,000 square feet.
(6)
Dumpsters: Dumpsters, where used, shall be located entirely on the subject property and shall be screened from the view of passing motorists and pedestrians, and from adjacent lots, as specified in Section 14.9. Acceptable screening materials include decorative masonry, brick, and stone. Three sides of the dumpster's enclosure, in terms of appearance, texture, and quality, shall be made of the same compatible material and color as the principal building on the lot. The service entrance of the dumpster enclosure shall be opaque and may be made of wood.
(7)
Lighting: Exterior lighting shall be kept to a minimum to ensure safe access to the property. All exterior lighting shall be arranged so that it does not spill over onto adjacent properties.
(8)
Noise: No exterior loud speakers are permitted.
(9)
Front yard: Prohibited from the front yard are merchandise display, accessory structures, and loading areas.
(10)
Signs: Signs may be monument or wall type. Signage shall be limited to one per principal structure, to be displayed on the front yard, off the right-of-way, except for wall signs. Lighting of signs is limited to ground based fixtures. Lighting may not spill over the edges of the sign.
(a)
Monument signs are limited to 12 square feet of signage space, and to four feet in height.
(b)
Wall signs shall be no larger than two square feet.
(11)
Exterior Paint: Exterior paint and paint color of backgrounds of signs shall be limited to selected paint manufacturer's recommendations for historic areas.
(12)
The above restrictions are in addition to all other requirements and restriction in this ordinance.
(13)
No accessory building (except an existing well house), recreational structure, and/or use may extend in front of the rear line of the primary structure.
7.2.1.1
Statutory Authorization The Legislature of the State of North Carolina has in Part 6, Article 21 of Chapter 143; Parts 3, 5, and 8 of Article 19 of Chapter 160A; and Article 8 of Chapter 160A of the North Carolina General Statutes, delegated to local governmental units the responsibility to adopt regulations designed to promote the public health, safety, and general welfare of its citizenry.
Therefore, the Board of Commissioners of the Town of Rolesville, North Carolina, does ordain as follows:
7.2.1.2
Findings of Fact The flood prone areas within the jurisdiction of the Town of Rolesville are subject to periodic inundation which results in loss of life, property, health and safety hazards, disruption of commerce and governmental services, extraordinary public expenditures of flood protection and relief, and impairment of the tax base, all of which adversely affect the public health, safety, and general welfare. These flood losses are caused by the cumulative effect of obstructions in floodplains causing increases in flood heights and velocities and by the occupancy in flood prone areas of uses vulnerable to floods or other hazards.
7.2.1.3
Statement of Purpose. It is the purpose of this ordinance to promote public health, safety, and general welfare and to minimize public and private losses due to flood conditions within flood prone areas by provisions designed to:
1.
Restrict or prohibit uses that are dangerous to health, safety, and property due to water or erosion hazards or that result in damaging increases in erosion, flood heights or velocities;
2.
Require that uses vulnerable to floods, including facilities that serve such uses, be protected against flood damage at the time of initial construction;
3.
Control the alteration of natural floodplains, stream channels, and natural protective barriers, which are involved in the accommodation of floodwaters;
4.
Control filling, grading, dredging, and all other development that may increase erosion or flood damage; and
5.
Prevent or regulate the construction of flood barriers that will unnaturally divert flood waters or which may increase flood hazards to other lands.
7.2.1.4
Objectives The objectives of this ordinance are:
1.
To protect human life and health;
2.
To minimize expenditure of public money for costly flood control projects;
3.
To minimize the need for rescue and relief efforts associated with flooding and generally undertaken at the expense of the general public;
4.
To minimize prolonged business losses and interruptions;
5.
To minimize damage to public facilities and utilities (i.e. water and gas mains, electric, telephone, cable and sewer lines, streets, and bridges) that are located in flood prone areas;
6.
To help maintain a stable tax base by providing for the sound use and development of flood prone areas; and
7.
To ensure that potential buyers are aware that property is in a Special Flood Hazard Area or Future Conditions Flood Hazard Area.
Unless specifically defined below, words or phrases used in this ordinance shall be interpreted so as to give them the meaning they have in common usage and to give this ordinance its most reasonable application.
Accessory Structure (Appurtenant Structure) means a structure located on the same parcel of property as the principal structure and the use of which is incidental to the use of the principal structure. Garages, carports and storage sheds are common urban accessory structures. Pole barns, hay sheds and the like qualify as accessory structures on farms, and may or may not be located on the same parcel as the farm dwelling or shop building.
Addition (to an existing building) means an extension or increase in the floor area or height of a building or structure.
Appeal means a request for a review of the floodplain administrator's interpretation of any provision of this ordinance.
Area of Special Flood Hazard. See "Special Flood Hazard Area (SFHA)."
Basement means any area of the building having its floor subgrade (below ground level) on all sides.
Base Flood means the flood having a one percent chance of being equaled or exceeded in any given year based on current conditions hydrology.
Base Flood Elevation (BFE) means a determination of the water surface elevations of the base flood based on current conditions hydrology as published in the Flood Insurance Study. When the BFE has not been provided in a "Special Flood Hazard Area", it may be obtained from engineering studies available from a Federal or State other source using FEMA approved engineering methodologies. This elevation, when combined with the "Freeboard", establishes the "Regulatory Flood Protection Elevation" in Special Flood Hazard Areas.
Building. See "Structure."
Chemical Storage Facility means a building, portion of a building, or exterior area adjacent to a building used for the storage of any chemical or chemically reactive products.
Current Conditions Hydrology means the flood discharges associated with the land-use conditions existing within the drainage area of a watercourse at the time a flood study of the watercourse was conducted. Current conditions flood discharges and historical flood study information are published in the Flood Insurance Study.
Development means any man-made change to improved or unimproved real estate, including, but not limited to, buildings or other structures, mining, dredging, filling, grading, paving, excavation or drilling operations, or storage of equipment or materials.
Disposal means, as defined in NCGS 130A-290(a)(6), the discharge, deposit, injection, dumping, spilling, leaking, or placing of any solid waste into or on any land or water so that the solid waste or any constituent part of the solid waste may enter the environment or be emitted into the air or discharged into any waters, including groundwaters.
Elevated Building means a non-basement building which has its lowest elevated floor raised above ground level by foundation walls, shear walls, posts, piers, pilings, or columns.
Encroachment means the advance or infringement of uses, fill, excavation, buildings, permanent structures or development into a floodplain, which may impede or alter the flow capacity of a floodplain.
Existing Manufactured Home Park or Manufactured Home Subdivision means a manufactured home park or subdivision for which the construction of facilities for servicing the lots on which the manufactured homes are to be affixed (including, at a minimum, the installation of utilities, the construction of streets, and either final site grading or the pouring of concrete pads) was completed before the original effective date of the floodplain management regulations adopted by the community.
Flood or Flooding means a general and temporary condition of partial or complete inundation of normally dry land areas from either the overflow of inland or tidal waters; and/or the unusual and rapid accumulation of runoff of surface waters from any source.
Flood Hazard Boundary Map (FHBM) means an official map of a community, issued by the Federal Emergency Management Agency, where the boundaries of the Special Flood Hazard Areas have been defined as Zone A.
Flood Insurance means the insurance coverage provided under the National Flood Insurance Program.
Flood Insurance Rate Map (FIRM) means an official map of a community, issued by the Federal Emergency Management Agency, on which the Special Flood Hazard Areas, the Future Conditions Flood Hazard Areas, and the risk premium zones applicable to the community are delineated.
Flood Insurance Study (FIS) means an examination, evaluation, and determination of flood hazards, corresponding water surface elevations (if appropriate), flood hazard risk zones, and other flood data in a community issued by the Federal Emergency Management Agency. The Flood Insurance Study report includes Flood Insurance Rate Maps (FIRMs) and Flood Boundary and Floodway Maps (FBFMs), if published.
Flood Prone Area. See "Floodplain."
Floodplain means any land area susceptible to being inundated by water from any source.
Floodplain Administrator is the individual appointed to administer and enforce the floodplain management regulations.
Floodplain Development Permit means any type of permit that is required in conformance with the provisions of this ordinance, prior to the commencement of any development activity.
Floodplain Management means the operation of an overall program of corrective and preventive measures for reducing flood damage and preserving and enhancing, where possible, natural resources in the floodplain, including, but not limited to, emergency preparedness plans, flood control works, floodplain management regulations, and open space plans.
Floodplain Management Regulations means this ordinance and other zoning ordinances, subdivision regulations, building codes, health regulations, special purpose ordinances, and other applications of police power which control development in flood-prone areas. This term describes federal, state or local regulations, in any combination thereof, which provide standards for preventing and reducing flood loss and damage.
Floodproofing means any combination of structural and nonstructural additions, changes, or adjustments to structures, which reduce or eliminate flood damage to real estate or improved real property, water and sanitation facilities, structures, and their contents.
Floodway means the channel of a river or other watercourse and the adjacent land areas that must be reserved in order to discharge the base flood without cumulatively increasing the water surface elevation more than one foot.
Flood Zone means a geographical area shown on a Flood Hazard Boundary Map or Flood Insurance Rate Map that reflects the severity or type of flooding in the area.
Freeboard means the height added to the Base Flood Elevation (BFE) or the Future Conditions Flood Elevation to account for the many unknown factors that could contribute to flood heights greater that the height calculated for a selected size flood and floodway conditions, such as wave action, bridge openings, and the hydrological effect of urbanization on the watershed. The Base Flood Elevation plus the freeboard establishes the "Regulatory Flood Protection Elevation".
Future Conditions Flood means the flood having a one percent chance of being equaled or exceeded in any given year based on future conditions hydrology.
Future Conditions Flood Elevation means a determination of the water surface elevations of the one percent annual chance flood based on future conditions hydrology as published in the Flood Insurance Study. This elevation, when combined with the freeboard, establishes the "Regulatory Flood Protection Elevation" in Future Conditions Flood Hazard Areas.
Future Conditions Flood Hazard Area means the land area that would be inundated by the one percent annual chance flood based on future conditions hydrology as determined in 7.2.3 of this ordinance.
Future Conditions Hydrology means the flood discharges associated with projected land-use conditions based on the Wake County's June 2003 Countywide Equivalent Zoning Classification data and Town of Rolesville Zoning Map and Community Plan and without consideration of projected future construction of flood detention structures or projected future hydraulic modifications within a stream or other waterway such as bridge and culvert construction, fill, and excavation. Future conditions flood discharges are published in the Flood Insurance Study.
Functionally Dependent Facility means a facility which cannot be used for its intended purpose unless it is located in close proximity to water, such as a docking or port facility necessary for the loading and unloading of cargo or passengers, shipbuilding, or ship repair. The term does not include long-term storage, manufacture, sales, or service facilities.
Hazardous Waste Facility means, as defined in NCGS Article 9 of Chapter 130A, a facility for the collection, storage, processing, treatment, recycling, recovery, or disposal of hazardous waste.
Highest Adjacent Grade (HAG) means the highest natural elevation of the ground surface, prior to construction, immediately next to the proposed walls of the structure.
Historic Structure means any structure that is:
(a)
Listed individually in the National Register of Historic Places (a listing maintained by the US Department of Interior) or preliminarily determined by the Secretary of Interior as meeting the requirements for individual listing on the National Register;
(b)
Certified or preliminarily determined by the Secretary of Interior as contributing to the historical significance of a registered historic district or a district preliminarily determined by the Secretary to qualify as a registered historic district;
(c)
Individually listed on a local inventory of historic landmarks in communities with a "Certified Local Government (CLG) Program"; or
(d)
Certified as contributing to the historical significance of a historic district designated by a community with a "Certified Local Government (CLG) Program."
Note: Certified Local Government (CLG) Programs are approved by the US Department of the Interior in cooperation with the North Carolina Department of Cultural Resources through the State Historic Preservation Officer as having met the requirements of the National Historic Preservation Act of 1966 as amended in 1980.
Lowest Adjacent Grade (LAG) means the elevation of the ground, sidewalk or patio slab immediately next to the building, or deck support, after completion of the building.
Lowest Floor means lowest floor of the lowest enclosed area (including basement). An unfinished or flood resistant enclosure, usable solely for parking of vehicles, building access, or limited storage in an area other than a basement area is not considered a building's lowest floor, provided that such an enclosure is not built so as to render the structure in violation of the applicable non-elevation design requirements of this ordinance.
Manufactured Home means a structure, transportable in one or more sections, which is built on a permanent chassis and designed to be used with or without a permanent foundation when connected to the required utilities. The term "manufactured home" does not include a "recreational vehicle".
Manufactured Home Park or Subdivision means a parcel (or contiguous parcels) of land divided into two or more manufactured home lots for rent or sale.
Market Value means the building value, not including the land value and that of any accessory structures or other improvements on the lot. Market value may be established by independent certified appraisal; replacement cost depreciated for age of building and quality of construction (Actual Cash Value); or adjusted tax assessed values.
Mean Sea Level means, for purposes of this ordinance, the National Geodetic Vertical Datum (NGVD) as corrected in 1929, the North American Vertical Datum (NAVD) as corrected in 1988, or other vertical control datum used as a reference for establishing varying elevations within the floodplain, to which Base Flood Elevations (BFEs) shown on a FIRM are referenced. Refer to each FIRM panel to determine datum used.
New Construction means structures for which the "start of construction" commenced on or after the effective date of the original version of the community's Flood Damage Prevention Ordinance and includes any subsequent improvements to such structures.
Non-Encroachment Area means the channel of a river or other watercourse and the adjacent land areas that must be reserved in order to discharge the base flood without cumulatively increasing the water surface elevation more than one foot as designated in the Flood Insurance Study report.
Post-FIRM means construction or other development for which the "start of construction" occurred on or after the effective date of the initial Flood Insurance Rate Map for the area.
Pre-FIRM means construction or other development for which the "start of construction" occurred before the effective date of the initial Flood Insurance Rate Map for the area.
Principally Above Ground means that at least 51 percent of the actual cash value of the structure is above ground.
Public Safety and/or Nuisance means anything which is injurious to the safety or health of an entire community or neighborhood, or any considerable number of persons, or unlawfully obstructs the free passage or use, in the customary manner, of any navigable lake, or river, bay, stream, canal, or basin.
Recreational Vehicle (RV) means a vehicle, which is:
1.
Built on a single chassis;
2.
Four hundred square feet or less when measured at the largest horizontal projection;
3.
Designed to be self-propelled or permanently towable by a light duty truck; and
4.
Designed primarily not for use as a permanent dwelling, but as temporary living quarters for recreational, camping, travel, or seasonal use.
Reference Level is the top of the lowest floor for structures within Special Flood Hazard Areas and Future Conditions Flood Hazard Areas designated as Zone AE, A, A99 or X (Future).
Regulatory Flood Protection Elevation means the elevation above mean sea level to which the reference level of all structures and other development located within Special Flood Hazard Areas and Future Conditions Flood Hazard Areas must be protected.
1.
In "Special Flood Hazard Areas" where Base Flood Elevations (BFEs) have been determined, this elevation shall be the BFE plus two feet of freeboard.
2.
In "Special Flood Hazard Areas" where no BFE has been established, this elevation shall be at least two feet above the highest adjacent grade.
3.
In Future Conditions Flood Hazard Areas this elevation shall be the Future Conditions Flood Elevation plus two feet of freeboard.
Remedy a Violation means to bring the structure or other development into compliance with State and community floodplain management regulations, or, if this is not possible, to reduce the impacts of its noncompliance. Ways that impacts may be reduced include protecting the structure or other affected development from flood damages, implementing the enforcement provisions of the ordinance or otherwise deterring future similar violations, or reducing Federal financial exposure with regard to the structure or other development.
Riverine means relating to, formed by, or resembling a river (including tributaries), stream, brook, etc.
Salvage Yard means any non-residential property used for the storage, collection, and/or recycling of any type of equipment, and including but not limited to vehicles, appliances and related machinery.
Solid Waste Disposal Facility means, as defined in NCGS 130A-290(a)(35), any facility involved in the disposal of solid waste.
Solid Waste Disposal Site means, as defined in (NCGS 130A-290(a)(36), any place at which solid wastes are disposed of by incineration, sanitary landfill, or any other method.
Special Flood Hazard Area (SFHA) means the land in the floodplain subject to a one percent or greater chance of being flooded in any given year based on current conditions hydrology, as determined in 7.2.3.2 of this ordinance.
Start of Construction includes substantial improvement, and means the date the building permit was issued, provided the actual start of construction, repair, reconstruction, rehabilitation, addition placement, or other improvement was within 180 days of the permit date. The actual start means either the first placement of permanent construction of a structure on a site, such as the pouring of slab or footings, the installation of piles, the construction of columns, or any work beyond the stage of excavation; or the placement of a manufactured home on a foundation. Permanent construction does not include land preparation, such as clearing, grading, and filling; nor does it include the installation of streets and/or walkways; nor does it include excavation for a basement, footings, piers, or foundations or the erection of temporary forms; nor does it include the installation on the property of accessory buildings, such as garages or sheds not occupied as dwelling units or not part of the main structure. For a substantial improvement, the actual start of construction means the first alteration of any wall, ceiling, floor, or other structural part of the building, whether or not that alteration affects the external dimensions of the building.
Structure means a walled and roofed building, a manufactured home, or a gas, liquid, or liquefied gas storage tank that is principally above ground.
Substantial Damage means damage of any origin sustained by a structure during any one-year period whereby the cost of restoring the structure to its before damaged condition would equal or exceed 50 percent of the market value of the structure before the damage occurred. See definition of "substantial improvement". Substantial damage also means flood-related damage sustained by a structure on two separate occasions during a ten-year period for which the cost of repairs at the time of each such flood event, on the average, equals or exceeds 25 percent of the market value of the structure before the damage occurred.
Substantial Improvement means any combination of repairs, reconstruction, rehabilitation, addition, or other improvement of a structure, taking place during any one-year period for which the cost equals or exceeds 50 percent of the market value of the structure before the "start of construction" of the improvement. This term includes structures which have incurred "substantial damage", regardless of the actual repair work performed. The term does not, however, include either:
1.
Any correction of existing violations of State or community health, sanitary, or safety code specifications which have been identified by the community code enforcement official and which are the minimum necessary to assure safe living conditions; or,
2.
Any alteration of a historic structure, provided that the alteration will not preclude the structure's continued designation as a historic structure.
Variance is a grant of relief from the requirements of this ordinance.
Violation means the failure of a structure or other development to be fully compliant with the community's floodplain management regulations. A structure or other development without the elevation certificate, other certifications, or other evidence of compliance required in 7.2.4 and 7.2.5 is presumed to be in violation until such time as that documentation is provided.
Water Surface Elevation (WSE) means the height, in relation to mean sea level, of floods of various magnitudes and frequencies in the floodplains of coastal or riverine areas.
Watercourse means a lake, river, creek, stream, wash, channel or other topographic feature on or over which waters flow at least periodically. Watercourse includes specifically designated areas in which substantial flood damage may occur.
7.2.3.1
Lands to which this ordinance applies This ordinance shall apply to all Special Flood Hazard Areas and Future Conditions Flood Hazard Areas within the jurisdiction, including Extra-Territorial Jurisdictions (ETJs), of the Town of Rolesville and within the jurisdiction of any other community whose governing body agrees, by resolution, to such applicability.
7.2.3.2
Basis for establishing the Special Flood Hazard Areas and Future Conditions Flood Hazard Areas The Special Flood Hazard Areas and Future Conditions Flood Hazard Areas are those identified under the Cooperating Technical State (CTS) agreement between the State of North Carolina and FEMA in its Flood Insurance Study (FIS) and its accompanying Flood Insurance Rate Maps (FIRM) dated May 2, 2006, for Wake County which are adopted by reference and declared to be a part of this ordinance.
7.2.3.3
Establishment of Floodplain Development Permit A Floodplain Development Permit shall be required in conformance with the provisions of this ordinance prior to the commencement of any development activities within Special Flood Hazard Areas and Future Conditions Flood Hazard Areas determined in accordance with 7.2.3, Section B of this ordinance.
7.2.3.4
Compliance No structure or land shall hereafter be located, extended, converted, altered, or developed in any way without full compliance with the terms of this ordinance and other applicable regulations.
7.2.3.5
Abrogation and greater restrictions This ordinance is not intended to repeal, abrogate, or impair any existing easements, covenants, or deed restrictions. However, where this ordinance and another conflict or overlap, whichever imposes the more stringent restrictions shall prevail.
7.2.3.6
Interpretation In the interpretation and application of this ordinance, all provisions shall be considered as minimum requirements, liberally construed in favor of the governing body; and deemed neither to limit nor repeal any other powers granted under State statutes.
7.2.3.7
Warning and disclaimer of liability The degree of flood protection required by this ordinance is considered reasonable for regulatory purposes and is based on scientific and engineering consideration. Larger floods can and will occur. Actual flood heights may be increased by man-made or natural causes. This ordinance does not imply that land outside the Special Flood Hazard Areas and Future Conditions Flood Hazard Areas or uses permitted within such areas will be free from flooding or flood damages. This ordinance shall not create liability on the part of the Town of Rolesville or by any officer or employee thereof for any flood damages that result from reliance on this ordinance or any administrative decision lawfully made hereunder.
7.2.3.8
Penalties for violation Violation of the provisions of this ordinance or failure to comply with any of its requirements, including violation of conditions and safeguards established in connection with grants of variance or special exceptions, shall constitute a misdemeanor. Any person who violates this ordinance or fails to comply with any of its requirements shall, upon conviction thereof, be fined not more than $50.00 or imprisoned for not more than 30 days, or both. Each day such violation continues shall be considered a separate offense. Nothing herein contained shall prevent the Town of Rolesville from taking such other lawful action as is necessary to prevent or remedy any violation.
7.2.4.1
Designation of Floodplain Administrator The Town of Rolesville Planning Director, hereinafter referred to as the "Floodplain Administrator", is hereby appointed to administer and implement the provisions of this ordinance.
7.2.4.2
Floodplain Development Application, Permit, and Certification Requirements
A.
Application Requirements. Application for a Floodplain Development Permit shall be made to the floodplain administrator prior to any development activities located within Special Flood Hazard Areas and Future Conditions Flood Hazard Areas. The following items shall be presented to the floodplain administrator to apply for a floodplain development permit:
1.
A plot plan drawn to scale which shall include, but shall not be limited to, the following specific details of the proposed floodplain development:
a.
The nature, location, dimensions, and elevations of the area of development/disturbance; existing and proposed structures, utility systems, grading/pavement areas, fill materials, storage areas, drainage facilities, and other development;
b.
The boundary of the Special Flood Hazard Area or Future Conditions Flood Hazard Area as delineated on the FIRM or other flood map as determined in 7.2.3.2, or a statement that the entire lot is within the Special Flood Hazard Area or Future Conditions Flood Hazard Area;
c.
Flood zone(s) designation of the proposed development area as determined on the FIRM or other flood map as determined in 7.2.3.2;
d.
The boundary of the floodway(s) or non-encroachment area(s) as determined in 7.2.3.2;
e.
The Base Flood Elevation (BFE) or Future Conditions Flood Elevation where provided as set forth in 7.2.3.2; 7.2.4.3; or 7.2.5.4;
f.
The old and new location of any watercourse that will be altered or relocated as a result of proposed development;
g.
Certification of the plot plan by a registered land surveyor or professional engineer.
2.
Proposed elevation, and method thereof, of all development within a Special Flood Hazard Area or Future Conditions Flood Hazard Area including but not limited to:
a.
Elevation in relation to mean sea level of the proposed reference level (including basement) of all structures;
b.
Elevation in relation to mean sea level to which any non-residential structure in Zone AE, A or X (Future) will be flood-proofed; and
c.
Elevation in relation to mean sea level to which any proposed utility systems will be elevated or floodproofed;
3.
If floodproofing, a Floodproofing Certificate (FEMA Form 81-65) with supporting data and an operational plan that includes, but is not limited to, installation, exercise, and maintenance of floodproofing measures.
4.
A Foundation Plan, drawn to scale,, which shall include details of the proposed foundation system to ensure all provisions of this ordinance are met. These details include but are not limited to:
a.
The proposed method of elevation, if applicable (i.e., fill, solid foundation perimeter wall, solid backfilled foundation, open foundation on columns/posts/piers/piles/shear walls);
b.
Openings to facilitate equalization of hydrostatic flood forces on walls in accordance with 7.2.5.2, when solid foundation perimeter walls are used in Zones A, AE and X (future);
5.
Usage details of any enclosed areas below the regulatory flood protection elevation.
6.
Plans and/or details for the protection of public utilities and facilities such as sewer, gas, electrical, and water systems to be located and constructed to minimize flood damage;
7.
Copies of all other Local, State and Federal permits required prior to floodplain development permit issuance (Wetlands, Endangered Species, Erosion and Sedimentation Control, Riparian Buffers, Mining, etc.).
8.
Documentation for placement of Recreational Vehicles and/or Temporary Structures, when applicable, to ensure 7.2.5.2 of this ordinance are met.
9.
A description of proposed watercourse alteration or relocation, when applicable, including an engineering report on the effects of the proposed project on the flood-carrying capacity of the watercourse and the effects to properties located both upstream and downstream; and a map (if not shown on plot plan) showing the location of the proposed watercourse alteration or relocation.
B.
Permit Requirements. The Floodplain Development Permit shall include, but not be limited to:
1.
A description of the development to be permitted under the floodplain development permit.
2.
The Special Flood Hazard Area or Future Conditions Flood Hazard Area determination for the proposed development per available data specified in 7.2.5.2.
3.
The regulatory flood protection elevation required for the reference level and all attendant utilities.
4.
The regulatory flood protection elevation required for the protection of all public utilities.
5.
All certification submittal requirements with timelines.
6.
A statement that no fill material or other development shall encroach into the floodway or non-encroachment area of any watercourse, as applicable.
7.
The flood openings requirements, if in Zones A, AE or X (Future).
8.
Limitations of below BFE enclosure uses (if applicable) (i.e., Parking, Building Access and Limited Storage only).
C.
Certification Requirements.
1.
Elevation Certificates An Elevation Certificate (FEMA Form 81-31) is required prior to the actual start of any new construction. It shall be the duty of the permit holder to submit to the floodplain administrator a certification of the elevation of the reference level, in relation to mean sea level. The floodplain administrator shall review the certificate data submitted. Deficiencies detected by such review shall be corrected by the permit holder prior to the beginning of construction. Failure to submit the certification or failure to make required corrections shall be cause to deny a floodplain development permit.
An Elevation Certificate (FEMA Form 81-31) is required after the reference level is established. Within seven calendar days of establishment of the reference level elevation, it shall be the duty of the permit holder to submit to the floodplain administrator a certification of the elevation of the reference level, in relation to mean sea level. Any work done within the seven day calendar period and prior to submission of the certification shall be at the permit holder's risk. The floodplain administrator shall review the certificate data submitted. Deficiencies detected by such review shall be corrected by the permit holder immediately and prior to further work being permitted to proceed. Failure to submit the certification or failure to make required corrections shall be cause to issue a stop-work order for the project.
A final as-built Elevation Certificate (FEMA Form 81-31) is required after construction is completed and prior to Certificate of Compliance/Occupancy issuance. It shall be the duty of the permit holder to submit to the floodplain administrator a certification of final as-built construction of the elevation of the reference level and all attendant utilities. The floodplain administrator shall review the certificate data submitted. Deficiencies detected by such review shall be corrected by the permit holder immediately and prior to Certificate of Compliance/Occupancy issuance. In some instances, another certification may be required to certify corrected as-built construction. Failure to submit the certification or failure to make required corrections shall be cause to withhold the issuance of a Certificate of Compliance/Occupancy.
2.
Floodproofing Certificate If non-residential floodproofing is used to meet the regulatory flood protection elevation requirements, a Floodproofing Certificate (FEMA Form 81-65), with supporting data and an operational plan, is required prior to the actual start of any new construction. It shall be the duty of the permit holder to submit to the floodplain administrator a certification of the floodproofed design elevation of the reference level and all attendant utilities, in relation to mean sea level. Floodproofing certification shall be prepared by or under the direct supervision of a professional engineer or architect and certified by same. The floodplain administrator shall review the certificate data and plan. Deficiencies detected by such review shall be corrected by the applicant prior to permit approval. Failure to submit the certification or failure to make required corrections shall be cause to deny a floodplain development permit. Failure to construct in accordance with the certified design shall be cause to withhold the issuance of a Certificate of Compliance/Occupancy.
If a manufactured home is placed within Zone A, AE or X (Future) and the elevation of the chassis is more than 36 inches in height above grade, an engineered foundation certification is required per 7.2.5.2.
If a watercourse is to be altered or relocated, a description of the extent of watercourse alteration or relocation; a professional engineer's certified report on the effects of the proposed project on the flood-carrying capacity of the watercourse and the effects to properties located both upstream and downstream; and a map showing the location of the proposed watercourse alteration or relocation shall all be submitted by the permit applicant prior to issuance of a floodplain development permit.
3.
Certification Exemptions The following structures, if located within Zone A, AE or X (Future), are exempt from the elevation/floodproofing certification requirements specified in items (a) and (b) of this subsection:
a.
Recreational Vehicles meeting requirements of 7.2.5.2;
b.
Temporary Structures meeting requirements of 7.2.5.2; and
c.
Accessory Structures less than 150 square feet meeting requirements of 7.2.5.2.
7.2.4.3
Duties and Responsibilities of the Floodplain Administrator The Floodplain Administrator shall perform, but not be limited to, the following duties:
A.
Review all floodplain development applications and issue permits for all proposed development within Special Flood Hazard Areas and Future Conditions Flood Hazard Areas to assure that the requirements of this ordinance have been satisfied.
B.
Advise permittee that additional Federal or State permits (Wetlands, Endangered Species, Erosion and Sedimentation Control, Riparian Buffers, Mining, etc.) may be required, and require that copies of such permits be provided and maintained on file with the floodplain development permit.
C.
Notify adjacent communities and the North Carolina Department of Crime Control and Public Safety, Division of Emergency Management, State Coordinator for the National Flood Insurance Program prior to any alteration or relocation of a watercourse, and submit evidence of such notification to the Federal Emergency Management Agency (FEMA).
D.
Assure that maintenance is provided within the altered or relocated portion of said watercourse so that the flood-carrying capacity is not diminished.
E.
Prevent encroachments into floodways and non-encroachment areas unless the certification and flood hazard reduction provisions of 7.2.5.5 are met.
F.
Obtain actual elevation (in relation to mean sea level) of the reference level (including basement) and all attendant utilities of all new or substantially improved structures, in accordance with 7.2.5.2.
G.
Obtain actual elevation (in relation to mean sea level) to which all new and substantially improved structures and utilities have been floodproofed, in accordance with 7.2.5.2.
H.
Obtain actual elevation (in relation to mean sea level) of all public utilities in accordance with 7.2.5.2.
I.
When floodproofing is utilized for a particular structure, obtain certifications from a registered professional engineer or architect in accordance with 7.2.4.2, 7.2.5.2.
J.
Where interpretation is needed as to the exact location of boundaries of the Special Flood Hazard Areas or Future Conditions Flood Hazard Areas (for example, where there appears to be a conflict between a mapped boundary and actual field conditions), make the necessary interpretation. The person contesting the location of the boundary shall be given a reasonable opportunity to appeal the interpretation as provided in this ordinance.
K.
When Base Flood Elevation (BFE) data has not been provided in accordance with 7.2.3.2, obtain, review, and reasonably utilize any Base Flood Elevation (BFE) data, along with floodway data or non-encroachment area data available from a Federal, State, or other source, including data developed pursuant to 7.2.5.4, in order to administer the provisions of this ordinance.
L.
When Base Flood Elevation (BFE) data is provided but no floodway nor non-encroachment area data has been provided in accordance with 7.2.3.2, obtain, review, and reasonably utilize any floodway data or non-encroachment area data available from a Federal, State, or other source in order to administer the provisions of this ordinance.
M.
When the lowest ground elevation of a parcel or structure located within Zone AE is above the Base Flood Elevation (BFE), advise the property owner of the option to apply for a Letter of Map Amendment (LOMA) from FEMA. Maintain a copy of the Letter of Map Amendment (LOMA) issued by FEMA in the floodplain development permit file.
N.
Permanently maintain all records that pertain to the administration of this ordinance and make these records available for public inspection.
O.
Make on-site inspections of work in progress. As the work pursuant to a floodplain development permit progresses, the floodplain administrator shall make as many inspections of the work as may be necessary to ensure that the work is being done according to the provisions of the local ordinance and the terms of the permit. In exercising this power, the floodplain administrator has a right, upon presentation of proper credentials, to enter on any premises within the jurisdiction of the community at any reasonable hour for the purposes of inspection or other enforcement action.
P.
Issue stop-work orders as required. Whenever a building or part thereof is being constructed, reconstructed, altered, or repaired in violation of this ordinance, the floodplain administrator may order the work to be immediately stopped. The stop-work order shall be in writing and directed to the person doing the work. The stop-work order shall state the specific work to be stopped, the specific reason(s) for the stoppage, and the condition(s) under which the work may be resumed. Violation of a stop-work order constitutes a misdemeanor.
Q.
Revoke floodplain development permits as required. The floodplain administrator may revoke and require the return of the floodplain development permit by notifying the permit holder in writing stating the reason(s) for the revocation. Permits shall be revoked for any substantial departure from the approved application, plans, or specifications; for refusal or failure to comply with the requirements of State or local laws; or for false statements or misrepresentations made in securing the permit. Any floodplain development permit mistakenly issued in violation of an applicable State or local law may also be revoked.
R.
Make periodic inspections throughout all special flood hazard areas within the jurisdiction of the community. The floodplain administrator and each member of his or her inspections department shall have a right, upon presentation of proper credentials, to enter on any premises within the territorial jurisdiction of the department at any reasonable hour for the purposes of inspection or other enforcement action.
S.
Follow through with corrective procedures of 7.2.4.4.
T.
Review, provide input, and make recommendations for variance requests.
U.
Maintain a current map repository to include, but not limited to, the FIS Report, FIRM and other official flood maps and studies adopted in accordance with 7.2.3.2 of this ordinance, including any revisions thereto including Letters of Map Change, issued by FEMA. Notify State and FEMA of mapping needs.
V.
Coordinate revisions to FIS reports and FIRMs, including Letters of Map Revision Based on Fill (LOMR-F) and Letters of Map Revision (LOMR).
7.2.4.4
Corrective Procedures
A.
Violations to be Corrected: When the floodplain administrator finds violations of applicable State and local laws, it shall be his or her duty to notify the owner of the building of the violation. The owner shall immediately remedy each of the violations of law cited in such notification.
B.
Actions in Event of Failure to Take Corrective Action: If the owner of a building or property shall fail to take prompt corrective action, the floodplain administrator shall give the owner written notice, by certified or registered mail to the owner's last known address or by personal service, stating:
1.
That the building or property is in violation of the Flood Damage Prevention Ordinance;
2.
That a hearing will be held before the floodplain administrator at a designated place and time, not later than ten days after the date of the notice, at which time the owner shall be entitled to be heard in person or by counsel and to present arguments and evidence pertaining to the matter; and,
3.
That following the hearing, the floodplain administrator may issue an order to alter, vacate, or demolish the building; or to remove fill as appears appropriate.
C.
Order to Take Corrective Action: If, upon a hearing held pursuant to the notice prescribed above, the floodplain administrator shall find that the building or development is in violation of the Flood Damage Prevention Ordinance, they shall issue an order in writing to the owner, requiring the owner to remedy the violation within a specified time period, not less than 60 calendar days, nor more than 90 calendar days. Where the floodplain administrator finds that there is imminent danger to life or other property, they may order that corrective action be taken in such lesser period as may be feasible.
D.
Appeal: Any owner who has received an order to take corrective action may appeal the order to the local elected governing body by giving notice of appeal in writing to the floodplain administrator and the clerk within ten days following issuance of the final order. In the absence of an appeal, the order of the floodplain administrator shall be final. The local governing body shall hear an appeal within a reasonable time and may affirm, modify and affirm, or revoke the order.
E.
Failure to Comply with Order: If the owner of a building or property fails to comply with an order to take corrective action for which no appeal has been made or fails to comply with an order of the governing body following an appeal, the owner shall be guilty of a misdemeanor and shall be punished at the discretion of the court.
7.2.4.5
Variance Procedures
A.
The Town of Rolesville Board of Adjustment, hereinafter referred to as the "appeal board", shall hear and decide requests for variances from the requirements of this ordinance.
B.
Any person aggrieved by the decision of the appeal board may appeal such decision to the Court, as provided in Chapter 7A of the North Carolina General Statutes.
C.
Variances may be issued for:
1.
The repair or rehabilitation of historic structures upon the determination hat the proposed repair or rehabilitation will not preclude the structure's continued designation as a historic structure and that the variance is the minimum necessary to preserve the historic character and design of the structure.
2.
Functionally dependent facilities if determined to meet the definition as stated in 7.2.2 of this ordinance, provided provisions of 7.2.4.5 have been satisfied, and such facilities are protected by methods that minimize flood damages.
3.
Any other type of development, provided it meets the requirements stated in this section.
D.
In passing upon variances, the appeal board shall consider all technical evaluations, all relevant factors, all standards specified in other sections of this ordinance, and:
1.
The danger that materials may be swept onto other lands to the injury of others;
2.
The danger to life and property due to flooding or erosion damage;
3.
The susceptibility of the proposed facility and its contents to flood damage and the effect of such damage on the individual owner;
4.
The importance of the services provided by the proposed facility to the community;
5.
The necessity to the facility of a waterfront location as defined under 7.2.3 of this ordinance as a functionally dependent facility, where applicable;
6.
The availability of alternative locations, not subject to flooding or erosion damage, for the proposed use;
7.
The compatibility of the proposed use with existing and anticipated development;
8.
The relationship of the proposed use to the comprehensive plan and floodplain management program for that area;
9.
The safety of access to the property in times of flood for ordinary and emergency vehicles;
10.
The expected heights, velocity, duration, rate of rise, and sediment transport of the floodwaters and the effects of wave action, if applicable, expected at the site; and
11.
The costs of providing governmental services during and after flood conditions including maintenance and repair of public utilities and facilities such as sewer, gas, electrical and water systems, and streets and bridges.
12.
The extent that the development limit will deprive the land owner of reasonable use of their property.
E.
A written report addressing each of the above factors shall be submitted with the application for a variance.
F.
Upon consideration of the factors listed above and the purposes of this ordinance, the appeal board may attach such conditions to the granting of variances as it deems necessary to further the purposes of this ordinance.
G.
Any applicant to whom a variance is granted shall be given written notice specifying the difference between the Base Flood Elevation (BFE) and the elevation to which the structure is to be built and that such construction below the Base Flood Elevation increases risks to life and property, and that the issuance of a variance to construct a structure below the Base Flood Elevation will result in increased premium rates for flood insurance up to $25.00 per $100.00 of insurance coverage. Such notification shall be maintained with a record of all variance actions, including justification for their issuance.
H.
The floodplain administrator shall maintain the records of all appeal actions and report any variances to the Federal Emergency Management Agency and the State of North Carolina upon request.
I.
Conditions for Variances:
1.
Variances shall not be issued when the variance will make the structure in violation of other Federal, State, or local laws, regulations, or ordinances.
2.
Variances shall not be issued within any designated floodway or non-encroachment area if the variance would result in any increase in flood levels during the base flood discharge.
3.
Variances shall only be issued upon a determination that the variance is the minimum necessary, considering the flood hazard, to afford relief.
4.
Variances shall only be issued prior to development permit approval.
5.
Variances shall only be issued upon:
a.
A showing of good and sufficient cause;
b.
A determination that failure to grant the variance would result in exceptional hardship; and
c.
A determination that the granting of a variance will not result in increased flood heights, additional threats to public safety, or extraordinary public expense, create nuisance, cause fraud on or victimization of the public, or conflict with existing local laws or ordinances.
6.
A variance may be issued for solid waste disposal facilities, hazardous waste management facilities, salvage yards, and chemical storage facilities that are located in Special Flood Hazard Areas or Future Conditions Flood Hazard Areas provided that all of the following conditions are met.
7.
The use serves a critical need in the community.
8.
No feasible location exists for the use outside the Special Flood Hazard Area or Future Conditions Flood Hazard Area.
9.
The reference level of any structure is elevated or flood proofed to at least the regulatory flood protection elevation.
10.
The use complies with all other applicable Federal, State and local laws.
11.
The Town of Rolesville has notified the Secretary of the North Carolina Department of Crime Control and Public Safety of its intention to grant a variance at least 30 calendar days prior to granting the variance.
7.2.5.1
General Standards In all Special Flood Hazard Areas and Future Conditions Flood Hazard Areas the following provisions are required:
1.
All new construction and substantial improvements shall be designed (or modified) and adequately anchored to prevent flotation, collapse, and lateral movement of the structure.
2.
All new construction and substantial improvements shall be constructed with materials and utility equipment resistant to flood damage.
3.
All new construction and substantial improvements shall be constructed by methods and practices that minimize flood damages.
4.
Electrical, heating, ventilation, plumbing, air conditioning equipment, and other service facilities shall be designed and/or located so as to prevent water from entering or accumulating within the components during conditions of flooding. These include, but are not limited to, HVAC equipment, water softener units, bath/kitchen fixtures, ductwork, electric/gas meter panels/boxes, utility/cable boxes, appliances (washers, dryers, refrigerators, freezers, etc.), hot water heaters, and electric outlets/switches.
5.
All new and replacement water supply systems shall be designed to minimize or eliminate infiltration of floodwaters into the system.
6.
New and replacement sanitary sewage systems shall be designed to minimize or eliminate infiltration of floodwaters into the systems and discharges from the systems into flood waters.
7.
On-site waste disposal systems shall be located and constructed to avoid impairment to them or contamination from them during flooding.
8.
Any alteration, repair, reconstruction, or improvements to a structure, which is in compliance with the provisions of this ordinance, shall meet the requirements of "new construction" as contained in this ordinance.
9.
Nothing in this ordinance shall prevent the repair, reconstruction, or replacement of a building or structure existing on the effective date of this ordinance and located totally or partially within the floodway, non-encroachment area, or stream setback, provided there is no additional encroachment below the regulatory flood protection elevation in the floodway, non-encroachment area, or stream setback, and provided that such repair, reconstruction, or replacement meets all of the other requirements of this ordinance.
10.
New solid waste disposal facilities and sites, hazardous waste management facilities, salvage yards, and chemical storage facilities shall not be permitted, except by variance as specified in 7.2.4.5. A structure or tank for chemical or fuel storage incidental to an allowed use or to the operation of a water treatment plant or wastewater treatment facility may be located in a Special Flood Hazard Area or Future Conditions Flood Hazard Area (OPTIONAL) only if the structure or tank is either elevated or floodproofed to at least the regulatory flood protection elevation and certified according to 7.2.4.2 of this ordinance.
11.
All subdivision proposals and other development proposals shall be consistent with the need to minimize flood damage.
12.
All subdivision proposals and other development proposals shall have public utilities and facilities such as sewer, gas, electrical, and water systems located and constructed to minimize flood damage.
13.
All subdivision proposals and other development proposals shall have adequate drainage provided to reduce exposure to flood hazards.
14.
All subdivision proposals and other development proposals shall have received all necessary permits from those governmental agencies for which approval is required by Federal or State law, including Section 404 of the Federal Water Pollution Control Act Amendments of 1972, 33 U.S.C. 1334.
7.2.5.2
Specific Standards In all Special Flood Hazard Areas where Base Flood Elevation (BFE) data has been provided and in Future Conditions Flood Hazard Areas where Future Conditions Flood Elevations data has been provided, as set forth in 7.2.3.2, or 7.2.4.3, the following provisions, in addition to 7.2.5.1, are required:
A.
Residential Construction. New construction and substantial improvement of any residential structure (including manufactured homes) shall have the reference level, including basement, elevated no lower than the regulatory flood protection elevation, as defined in 7.2.2 of this ordinance.
B.
Non-Residential Construction. New construction and substantial improvement of any commercial, industrial, or other non-residential structure shall have the reference level, including basement, elevated no lower than the regulatory flood protection elevation, as defined in 7.2.2 of this ordinance. Structures located in A, AE, and X (Future) Zones may be floodproofed to the regulatory flood protection elevation in lieu of elevation provided that all areas of the structure, together with attendant utility and sanitary facilities, below the regulatory flood protection elevation are watertight with walls substantially impermeable to the passage of water, using structural components having the capability of resisting hydrostatic and hydrodynamic loads and the effect of buoyancy. A registered professional engineer or architect shall certify that the standards of this subsection are satisfied. Such certification shall be provided to the Floodplain Administrator as set forth in 7.2.4.2, along with the operational and maintenance plans.
C.
Manufactured Homes.
1.
New or replacement manufactured homes shall be elevated so that the reference level of the manufactured home is no lower than the regulatory flood protection elevation, as defined in 7.2.2 of this ordinance.
2.
Manufactured homes shall be securely anchored to an adequately anchored foundation to resist flotation, collapse, and lateral movement, either by engineer certification, or in accordance with the most current edition of the State of North Carolina Regulations for Manufactured Homes adopted by the Commissioner of Insurance pursuant to NCGS § 143-143.15. Additionally, when the elevation would be met by an elevation of the chassis 36 inches or less above the grade at the site, the chassis shall be supported by reinforced piers or engineered foundation. When the elevation of the chassis is above 36 inches in height, an engineering certification is required.
3.
All enclosures or skirting below the lowest floor shall meet the requirements of 7.2.5.2.
4.
An evacuation plan must be developed for evacuation of all residents of all new, substantially improved or substantially damaged manufactured home parks or subdivisions located within flood prone areas. This plan shall be filed with and approved by the floodplain administrator and the local Emergency Management coordinator.
D.
Elevated Buildings. Fully enclosed area, of new construction and substantially improved structures, which is below the lowest floor:
1.
Shall not be designed or used for human habitation, but shall only be used for parking of vehicles, building access, or limited storage of maintenance equipment used in connection with the premises. Access to the enclosed area shall be the minimum necessary to allow for parking of vehicles (garage door) or limited storage of maintenance equipment (standard exterior door), or entry to the living area (stairway or elevator). The interior portion of such enclosed area shall not be finished or partitioned into separate rooms, except to enclose storage areas;
2.
Shall be constructed entirely of flood resistant materials below the regulatory flood protection elevation;
3.
Shall include, in Zones A, AE and X (Future), flood openings to automatically equalize hydrostatic flood forces on walls by allowing for the entry and exit of floodwaters. To meet this requirement, the openings must either be certified by a professional engineer or architect or meet or exceed the following minimum design criteria;
a.
A minimum of two flood openings on different sides of each enclosed area subject to flooding;
b.
The total net area of all flood openings must be at least one square inch for each square foot of enclosed area subject to flooding;
c.
If a building has more than one enclosed area, each enclosed area must have flood openings to allow floodwaters to automatically enter and exit;
d.
The bottom of all required flood openings shall be no higher than one foot above the adjacent grade;
e.
Flood openings may be equipped with screens, louvers, or other coverings or devices, provided they permit the automatic flow of floodwaters in both directions; and
f.
Enclosures made of flexible skirting are not considered enclosures for regulatory purposes, and, therefore, do not require flood openings. Masonry or wood underpinning, regardless of structural status, is considered an enclosure and requires flood openings as outlined above.
E.
Additions/Improvements.
1.
Additions and/or improvements to pre-FIRM structures when the addition and/or improvements in combination with any interior modifications to the existing structure are:
2.
Not a substantial improvement, the addition and/or improvements must be designed to minimize flood damages and must not be any more non-conforming than the existing structure.
3.
A substantial improvement, both the existing structure and the addition and/or improvements must comply with the standards for new construction.
4.
Additions to post-FIRM structures with no modifications to the existing structure other than a standard door in the common wall shall require only the addition to comply with the standards for new construction.
5.
Additions and/or improvements to post-FIRM structures when the addition and/or improvements in combination with any interior modifications to the existing structure are:
6.
Not a substantial improvement, the addition and/or improvements only must comply with the standards for new construction.
7.
A substantial improvement, both the existing structure and the addition and/or improvements must comply with the standards for new construction.
8.
Where an independent perimeter load-bearing wall is provided between the addition and the existing building, the addition(s) shall be considered a separate building and only the addition must comply with the standards for new construction.
F.
Recreational Vehicles. Recreational vehicles shall either:
1.
Be on site for fewer than 180 consecutive days and be fully licensed and ready for highway use (a recreational vehicle is ready for highway use if it is on its wheels or jacking system, is attached to the site only by quick disconnect type utilities, and has no permanently attached additions); or
2.
Meet all the requirements for new construction.
G.
Temporary Non-Residential Structures. Prior to the issuance of a floodplain development permit for a temporary structure, the applicant must submit to the floodplain administrator a plan for the removal of such structure(s) in the event of a hurricane, flash flood or other type of flood warning notification. The following information shall be submitted in writing to the floodplain administrator for review and written approval;
1.
A specified time period for which the temporary use will be permitted. Time specified may not exceed three months, renewable up to one year;
2.
The name, address, and phone number of the individual responsible for the removal of the temporary structure;
3.
The time frame prior to the event at which a structure will be removed (i.e., minimum of 72 hours before landfall of a hurricane or immediately upon flood warning notification);
4.
A copy of the contract or other suitable instrument with the entity responsible for physical removal of the structure; and
5.
Designation, accompanied by documentation, of a location outside the Special Flood Hazard Area or Future Conditions Flood Hazard Area, to which the temporary structure will be moved.
H.
Accessory Structures. When accessory structures (sheds, detached garages, etc.) are to be placed within a Special Flood Hazard Area or Future Conditions Flood Hazard Area, the following criteria shall be met:
1.
Accessory structures shall not be used for human habitation (including working, sleeping, living, cooking or restroom areas);
2.
Accessory structures shall not be temperature-controlled;
3.
Accessory structures shall be designed to have low flood damage potential;
4.
Accessory structures shall be constructed and placed on the building site so as to offer the minimum resistance to the flow of floodwaters;
5.
Accessory structures shall be firmly anchored in accordance with 7.2.5.1;
6.
All service facilities such as electrical shall be installed in accordance with 7.2.5.1; and
7.
Flood openings to facilitate automatic equalization of hydrostatic flood forces shall be provided below regulatory flood protection elevation in conformance with 7.2.5.2.
8.
An accessory structure with a footprint less than 150 square feet that satisfies the criteria outlined above does not require an elevation or floodproofing certificate. Elevation or floodproofing certifications are required for all other accessory structures in accordance with 7.2.4.2.
7.2.5.3
Reserved
7.2.5.4
Standards for Floodplains without Established Base Flood Elevations
A.
Within the Special Flood Hazard Areas designated as Approximate Zone A and established in 7.2.3.2, where no Base Flood Elevation (BFE) data has been provided by FEMA, the following provisions, in addition to 7.2.5.1 and 7.2.5.2, shall apply:
B.
No encroachments, including fill, new construction, substantial improvements or new development shall be permitted within a distance of 20 feet each side from top of bank or five times the width of the stream, whichever is greater, unless certification with supporting technical data by a registered professional engineer is provided demonstrating that such encroachments shall not result in any increase in flood levels during the occurrence of the base flood discharge.
C.
The BFE used in determining the regulatory flood protection elevation shall be determined based on one of the following criteria set in priority order:
D.
If Base Flood Elevation (BFE) data is available from other sources, all new construction and substantial improvements within such areas shall also comply with all applicable provisions of this ordinance and shall be elevated or floodproofed in accordance with standards in 7.2.4.3.
E.
All subdivision, manufactured home park and other development proposals shall provide Base Flood Elevation (BFE) data if development is greater than five acres or has more than 50 lots/manufactured home sites. Such Base Flood Elevation (BFE) data shall be adopted by reference per 7.2.3.2 to be utilized in implementing this ordinance.
F.
When Base Flood Elevation (BFE) data is not available from a Federal, State, or other source as outlined above, the reference level shall be elevated to or above the regulatory flood protection elevation, as defined in 7.2.2.
7.2.5.5
Reserved
7.2.5.6
Uses Permitted in Special Flood Hazard Areas And Future Conditions Flood Hazard Areas Areas designated as floodways or non-encroachment areas are located within the Special Flood Hazard Areas established in 7.2.3.2. The floodways and non-encroachment areas are extremely hazardous areas due to the velocity of floodwaters that have erosion potential and carry debris and potential projectiles.
The following uses are permitted in floodway and non-encroachment areas, provided that they are not prohibited by this or any other law; permanent facilities are flood-proofed; they will not adversely affect the capacity if the channels, floodway or non-encroachment areas of any river, creek, stream, tributary, or other drainage areas; and provided, still further, that no such use will raise the elevation of the base flood:
A)
Archaeological activities;
B)
Boats docks, ramps, piers, or similar water-dependent structures;
C)
Quarrying provided spoilage is not stored in the floodway or non-encroachment area;
D)
Any other use not employing a structure and not subject to floating away during a flood;
E)
Reconstruction, rehabilitation, or restoration of structures listed on the National Register of Historic Place or the State Inventory of Historic Places;
F)
Roads, driveway, bridges, overhead utility lines, hydroelectric plants, railway lines and rights-of-way, creek and storm drainage facilities, sewage or wastewater treatment plant outlets, water supply intake structures, manholes and wastewater mains, and other similar public, community or utility uses;
G)
Dams (including fill) provided they are constructed perpendicular to the floodway or non-encroachment area flow; provided still further that the emergency spillway is designed to safely pass the maximum expected peak discharge of the 100-year storm event; and provided still further that the dam complies with all state and federal laws and regulations. The construction of dams within jurisdictional water of the United States may be prohibited by the federal and/or state governments;
H)
Drainage ditches, roadside ditches, and stormwater outfalls, provide no alternative exists and any necessary stormwater management devices are installed to control nitrogen, to attenuate the velocity of the discharge, and/or return the discharge to a diffuse flow (all to the maximum extent practicable), prior to the conveyance of the discharge through the buffer;
I)
Pedestrian, bikeway, equestrian, golf cart, and other recreation trails;
J)
Stream and wetland restoration and stream bank stabilization; and
K)
An encroachment, otherwise permitted by the applicable zoning, for which FEMA has issued a Conditional Letter of Map Revision (CLOMR) followed by a Letter of Map Revision (LOMR).
7.2.5.7.
Uses Prohibited in Special Flood Hazard Areas and Future Conditions Flood Hazard Areas
A)
No new structures may be constructed or placed within a floodway or non-encroachment area except as provided in Section 7.2.5.6 above;
B)
No fill may be placed in a floodway or non-encroachment area except as provided in Section 7.2.5.6 above;
C)
No new solid waste disposal facilities, hazardous waste management facilities, salvage yards, and chemical storage facilities or similar uses that may result in environmental contamination is permitted within the floodways and non-encroachment areas. A structure or tank for chemical or fuel storage incidental to an allows use or to the operation of a water treatment plan or wastewater treatment facility may be located in a floodway or non-encroachment area only if the structure or tank is either elevated or floodproofed to at least the regulatory flood protection elevation and certified accordingly.
7.2.6.1
Effect on rights and liabilities under the existing flood damage prevention ordinance This ordinance in part comes forward by re-enactment of some of the provisions of the flood damage prevention ordinance December 19, 2000 as amended, and it is not the intention to repeal but rather to re-enact and continue to enforce without interruption of such existing provisions, so that all rights and liabilities that have accrued thereunder are reserved and may be enforced. The enactment of this ordinance shall not affect any action, suit or proceeding instituted or pending. All provisions of the flood damage prevention ordinance of Town of Rolesville enacted on December 19, 2000, as amended, which are not reenacted herein are thereby repealed.
7.2.6.2
Effect upon outstanding floodplain development permits Nothing herein contained shall require any change in the plans, construction, size, or designated use of any development or any part thereof for which a floodplain development permit has been granted by the floodplain administrator or his or her authorized agents before the time of passage of this ordinance; provided, however, that when construction is not begun under such outstanding permit within a period of six months subsequent to the date of issuance of the outstanding permit, construction or use shall be in conformity with the provisions of this ordinance.
Stream Protection Buffers provide strips of natural vegetation that remove pollutants from stormwater runoff before they reach streams or watercourses that eventually drain into a water supply watersource. They do so by allowing infiltration of runoff and filtration of pollutants through the ground and soil, slowing runoff flow to allow settling and deposition of pollutants, and providing vegetation that absorbs pollutants through root systems. In addition, these natural buffers preserve habitat for both prolific and endangered wildlife and plant species. Plant and wildlife preservation ensures a diverse ecosystem. Finally, stream protection buffers provide scenic areas for human recreation and enjoyment. The provision of vegetated, undisturbed buffers serve to preserve and protect the quality of our streams and watercourses; to preserve and protect the drinking water sources for our downstream neighbors; to preserve and protect habitat to wildlife and plants; and to preserve and protect natural areas for the human recreation and stress relief.
Along each side of a stream shown as a blue line on the most recent edition of USGS 1:24,000 (7.5) minute scale topographic maps, a 100-foot wide buffer area shall be provided. The 100-foot wide buffer shall be measured perpendicular to the river, stream of watercourse bank. The buffer shall be divided into two sections, as follows:
7.3.2.1
Stream Protection Buffer, Section 1 shall be defined as that area that begins at the stream bank and extends outward 50 feet. Stream Protection Buffer, Section 1 shall be undisturbed except for the following activities, which shall be allowed:
(a)
Archeological activities, provided any vegetation removed is restored with vegetation of comparable assimilative capacity;
(b)
Bridges, provided no alternative to their location in the buffer exists;
(c)
Dam Maintenance activities;
(d)
Drainage ditches roadside ditches and stormwater outfalls, provided that:
(1)
No reasonable alternative to their location in the buffer exists; and
(2)
Stormwater management is installed to control nitrogen and attenuate flow before the conveyance discharges through the buffer;
(e)
Driveway and road (public and private) crossings provided:
(1)
No reasonable alternative to their location in the buffer (including opportunities for shared driveways) exists; and
(2)
The driveway crosses the buffer at an angle as close to 90 degrees as possible; and
(3)
Side slopes do not exceed a 2:1 (horizontal to vertical) ratio (bridging and/or retaining walls may be used to meet this and the disturbance width standard); and
(4)
All culverts are designed and constructed for the 25-year storm event
(f)
Utility lines, provided:
(1)
No reasonable alternative to their location in the buffer; and
(2)
A line crossing the buffer is combined with other permitted buffer crossings, where practicable;
(3)
Vegetative root systems and stumps from cut trees are retained;
(4)
No rip-rap rock is used unless necessary to stabilize a pole or tower; and
(5)
Active measurements are taken after construction and during routine maintenance to ensure diffuse flow of stormwater through the buffer; and
(6)
Mats are used to minimize soil disturbance; and
(7)
Construction activities minimize the removal of woody vegetation, the extent of disturbed area and the during which areas remain in a disturbed state; and
(8)
Cables are installed by vibratory plow or trenching; and
(9)
Trenches are backfilled with the excavated material immediately following the installation.
(g)
Removal of previously installed debris or filled, provided:
(1)
Diffuse flow is maintained; and
(2)
Any vegetation removed is restored with vegetation of comparable assimilative capacity.
(h)
Scientific studies and stream gauging;
(i)
Stormwater management ponds, provided:
(1)
No alternative to their location in the buffer exists; and
(2)
A new vegetated buffer meeting the purpose and requirements of this ordinance, as determined by the Town Manager on a case by case basis, is installed around the pond.
(j)
Stream Restoration;
(k)
Stream bank stabilization;
(l)
Temporary in-stream sediment and erosion control measures for work within a stream channel;
(m)
Wetland Restoration.
7.3.2.2
Stream Protection Buffer, Section 2 shall be defined as the area that begins at the outer-edge of the 100 feet buffer and extends toward the stream for a distance of 50 feet. Stream Protection Buffer, Section 2 shall be undisturbed except as is necessary to install or preserve stable vegetated area. that may be graded and revegetated for use as a lawn or landscaped area. Stream Protection Buffer, Section 2 may be disturbed as follows:
(a)
Lawn and landscaped areas;
(b)
Archeological activities, provided any vegetation removed is restored with vegetation of comparable assimilative capacity;
(c)
Bridges, provided no alternative to their location in the buffer exists;
(d)
Dam Maintenance activities;
(e)
Drainage ditches roadside ditches and stormwater outfalls, provided that:
(1)
No reasonable alternative to their location in the buffer exists; and
(2)
Stormwater management is installed to control nitrogen and attenuate flow before the conveyance discharges through the buffer;
(f)
Driveway and road (public and private) crossings provided:
(1)
No reasonable alternative to their location in the buffer (including opportunities for shared driveways) exists; and
(2)
The driveway crosses the buffer at an angle as close to 90 degrees as possible; and
(3)
Side slopes do not exceed a 2:1 (horizontal to vertical) ratio (bridging and/or retaining walls may be used to meet this and the disturbance width standard); and
(4)
All culverts are designed and constructed for the 25-year storm event;
(g)
Utility lines, provided:
(1)
No reasonable alternative to their location in the buffer; and
(2)
A line crossing the buffer is combined with other permitted buffer crossings, where practicable; and
(3)
Woody vegetation is removed by had (no land grubbing or grading); and
(4)
Vegetative root systems and stumps from cut trees are retained; and
(5)
No rip-rap rock is used unless necessary to stabilize a pole or tower; and
(6)
Active measurements are taken after construction and during routine maintenance to ensure diffuse flow of stormwater through the buffer; and
(7)
Mats are used to minimize soil disturbance; and
(8)
Construction activities minimize the removal of woody vegetation, the extent of disturbed area and the during which areas remain in a disturbed state; and
(9)
Cables are installed by vibratory plow or trenching; and
(10)
Trenches are backfilled with the excavated material immediately following the installation.
(h)
Removal of previously installed debris or filled, provided:
(1)
Diffuse flow is maintained; and
(2)
Any vegetation removed is restored with vegetation of comparable assimilative capacity.
(i)
Scientific studies and stream gauging;
(j)
Stormwater management ponds, provided:
(1)
No alternative to their location in the buffer exists; and
(2)
A new vegetated buffer meeting the purpose and requirements of this ordinance, as determined by the Town Manager on a case by case basis, is installed around the pond.
(k)
Stream Restoration;
(l)
Stream bank stabilization;
(m)
Temporary in-stream sediment and erosion control measures for work within a stream channel;
(n)
Wetland Restoration;
(o)
Pedestrian, bikeway, equestrian, golf cart, and other recreation trails (public or private) provided:
(1)
A trail crossing the buffer is combined with other permitted buffer crossing where practical; and
(2)
A trail crossing the buffer does so at an angle as close to 90 degrees as possible; and
(3)
Trails running linearly within the buffer shall be located where possible in the outer 20 feet of the buffer and in no instance shall be closer than 50 feet to the edge of a river, stream or watercourse.
7.3.2.3
Buffer areas may be included in recorded lots and used to satisfy minimum lot sizes, provided that stream buffers are clearly delineated on the plat and that a note is included on each plat that contains a lot which includes any portion of a Stream Buffer as follows:
WARNING! DO NOT DISTURB STREAM PROTECTION BUFFERS: This lot includes a stream buffer. Disturbance within the buffer area is regulated by the Town of Rolesville. Contact the Town of Rolesville Planning Department before entering or disturbing the buffer area in any manner. Unauthorized disturbance of the buffer area will result in financial penalties. In addition, this buffer may be governed by the State of North Carolina under the Neuse River Rules. Please contact the North Carolina Division of Environment, Health and Natural Resources for additional information.
In the event of conflict with other applicable laws or regulations, the more restrictive regulation shall govern. Note: streams may require both Stream Buffers and Neuse River Riparian Buffers. Stream Buffers and Neuse River Buffers may exist concurrently in the same location.
The Town recognizes that some property owners have already expended substantial funds in submitting for site plan, subdivisions, special use permits and other Town approvals. Projects that were in the review process as evidenced by the submittal of at least a completed application accepted by the Planning Department for a site plan, subdivision, special use permit or building permit, before March 16, 2004 will be exempt from the requirements of this section.
(A)
Title This ordinance shall be officially known as "The Post-Construction Stormwater Ordinance." It is referred to herein as "this ordinance."
(B)
Authority The Town Board is authorized to adopt this ordinance pursuant to North Carolina law, including but not limited to Article 14, Section 5 of the Constitution of North Carolina; the Charter of the Town of Rolesville; North Carolina General Statutes 143-214.7 and rules promulgated by the Environmental Management Commission thereunder; Session Law 2004-163; Chapter 160A, §§ 174, and 185.
(C)
Findings It is hereby determined that:
Development and Redevelopment alter the hydrologic response of local watersheds and increase stormwater runoff rates and volumes, flooding, soil erosion, stream channel erosion, nonpoint and point source pollution, and sediment transport and deposition, as well as reducing groundwater recharge;
These effects can be managed and minimized by applying proper design and well-planned controls to manage stormwater runoff from Development sites.
Further, the Federal Water Pollution Control Act of 1972 ("Clean Water Act") and federal Phase II Stormwater Rules promulgated under it compel the Town to adopt minimum stormwater controls such as those included in this ordinance.
Therefore, the Town establishes this set of water quality and quantity regulations to meet the requirements of state and federal law regarding control of stormwater runoff and discharge.
(D)
Purpose
(1)
General The purpose of this ordinance is to protect, maintain and enhance the public health, safety, environment and general welfare by establishing minimum requirements and procedures to control the adverse effects of increased post-Development stormwater runoff and nonpoint and point source pollution associated with new Development and Redevelopment as well as illicit discharges into municipal stormwater systems.
(2)
Specific This ordinance seeks to meet its general purpose through the following specific objectives and means:
(i)
Requiring that new Development and Redevelopment maintain the pre-Development hydrologic response in their post-Development state as nearly as practicable for the applicable design storm to reduce flooding, streambank erosion, nonpoint and point source pollution;
(ii)
Establishing minimum post-Development stormwater management standards and design criteria for the regulation and control of stormwater runoff quantity and quality;
(iii)
Encouraging the use of better management and site design practices, such as the use of vegetated conveyances for stormwater and the preservation of greenspace, riparian buffers and other conservation areas to the maximum extent practicable;
(iv)
Establishing provisions for the long-term responsibility for and maintenance of Structural and nonstructural Stormwater Best Management Practices (BMPs) to ensure that they continue to function as designed, are maintained appropriately, and pose no threat to public safety;
(v)
Establishing administrative procedures for the submission, review, approval and disapproval of stormwater management plans, for the inspection of approved projects, and to assure appropriate long-term maintenance.
(vi)
Managing flooding and downstream impacts with an awareness of impending regional growth.
(E)
Applicability and Jurisdiction
(1)
General Beginning with and subsequent to its effective date, this ordinance shall be applicable to all Development and Redevelopment, including, but not limited to, site plan applications, subdivision applications, and grading applications, unless exempt pursuant to Subsection (2) of this Section, Exemptions.
(2)
Exemptions Development that cumulatively disturbs less than 20,000 square feet and is not part of a larger common plan of Development or Sale is exempt from the provisions of this ordinance. This exemption does not relieve any Development from Neuse Buffer Rules or other applicable federal, state or local laws.
Redevelopment that cumulatively disturbs less than 20,000 square feet and is not part of a Larger Common Plan of Development or Sale is exempt from the provisions of this ordinance. This exemption does not relieve any Development from Neuse Buffer Rules or other applicable federal, state or local laws.
Development and Redevelopment that disturb less than 20,000 square feet are not exempt if such activities are part of a larger common plan of or sale, even though multiple, separate or distinct activities take place at different times on different schedules.
Activities that are exempt from permit requirements of Section 404 of the federal Clean Water Act as specified in 40 CFR 232 (primarily, ongoing farming and forestry activities) are exempt from the provisions of this ordinance.
(3)
No Development or Redevelopment Until Compliance and Permit No Development or Redevelopment shall occur except in compliance with the provisions of this ordinance or unless exempted. No Development for which a permit is required pursuant to this ordinance shall occur except in compliance with the provisions, conditions, and limitations of the permit.
(4)
Map The provisions of this ordinance shall apply within the areas designated as the municipal incorporated area and extraterritorial jurisdiction on the town's Official Zoning Map, which is adopted simultaneously herewith. The Zoning Map shall be kept on file by the Town and shall be amended from time to time to include changes in the land area covered by this ordinance. In the event of a dispute, the applicability of this ordinance to a particular area of land or BMP shall be determined by reference to the North Carolina Statutes, the North Carolina Administrative Code, and local zoning and jurisdictional boundary ordinances.
(F)
Interpretation
(1)
References to Statutes, Regulations, and Documents Whenever reference is made to a resolution, ordinance, statute, regulation, manual (including the North Carolina Stormwater Best Management Practices Manual, hereinafter "the Design Manual"), or document, it shall be construed as a reference to the most recent edition of such that has been finalized and published with due provision for notice and comment, unless otherwise specifically stated. See Section 3.8 of the Town of Rolesville Unified Development Ordinance.
(G)
North Carolina Stormwater Best management Practices Design Manual
(1)
Reference to Design Manual The Stormwater Administrator or his or her designee shall use the policy, criteria, and information, including technical specifications and standards, in the Design Manual as the basis for decisions about stormwater permits and about the design, implementation and performance of Structural and non-structural stormwater BMPs.
The Design Manual includes a list of acceptable stormwater treatment practices, including specific design criteria for each stormwater practice. Stormwater treatment practices that are designed, constructed, and maintained in accordance with these design and sizing criteria will be presumed to meet the minimum water quality performance standards of the Phase II laws.
(2)
Relationship of Design Manual to Other Laws and Regulations If the specifications or guidelines of the Design Manual are more restrictive or apply a higher standard than other laws or regulations, that fact shall not prevent application of the specifications or guidelines in the Design Manual.
(H)
Relationship to Other Laws, Regulations and Private Agreements
(1)
Conflict of Laws This ordinance is not intended to modify or repeal any other ordinance, rule, regulation or other provision of law. The requirements of this ordinance are in addition to the requirements of any other ordinance, rule, regulation or other provision of law. Where any provision of this ordinance imposes restrictions different from those imposed by any other ordinance, rule, regulation or other provision of law, whichever provision is more restrictive or imposes higher protective standards shall control.
(2)
Private Agreements This ordinance is not intended to revoke or repeal any easement, covenant, or other private agreement. However, where the regulations of this ordinance are more restrictive or impose higher standards or requirements than such an easement, covenant, or other private agreement, the requirements of this ordinance shall govern. Nothing in this ordinance shall modify or repeal any private covenant or deed restriction, but such covenant or restriction shall not legitimize any failure to comply with this ordinance. In no case shall the Town be obligated to enforce the provisions of any easements, covenants, or agreements between private parties.
(I)
Severability If the provisions of any section, subsection, paragraph, subdivision or clause of this ordinance shall be adjudged invalid by a court of competent jurisdiction, such judgment shall not affect or invalidate the remainder of any section, subsection, paragraph, subdivision or clause of this ordinance.
(J)
Effective Date and Transitional Provisions
(1)
Effective Date This Ordinance shall take effect on August 3, 2009.
(2)
Final Approvals, Complete Applications All Development and Redevelopment projects for which complete and full applications were submitted and accepted as complete by the Town prior to the effective date of this ordinance and which remain valid, unexpired, unrevoked and not otherwise terminated at the time of Development or Redevelopment shall be exempt from complying with all provisions of this ordinance dealing with the control and/or management of post-construction runoff, but shall be required to comply with all other applicable provisions.
A phased Development plan shall be deemed approved prior to the effective date of this ordinance if it has been approved by all necessary government units, it remains valid, unexpired, unrevoked and not otherwise terminated, and it shows:
(a)
For the initial or first phase of Development: the type and intensity of use for a specific parcel or parcels. This shall include, at a minimum, the boundaries of the project and a subdivision plan that has been approved.
(b)
For any subsequent phase of Development: sufficient detail showing that implementation of the requirements of this ordinance to that phase of Development would require a material change in that phase of the plan.
(3)
Violations Continue Any violation of provisions existing on the effective date of this ordinance shall continue to be a violation under this ordinance and be subject to penalties and enforcement under this ordinance unless the use, Development, construction, or other activity complies with the provisions of this ordinance.
When used in this Ordinance, the following words and terms shall have the meaning set forth in this section, unless other provisions of this Ordinance specifically indicate otherwise.
Built-upon Area (BUA). That portion of a Development project that is covered by impervious or partially impervious surface including, but not limited to, buildings, pavement and gravel areas such as roads, parking lots, and paths; and recreation facilities such as tennis courts. "Built-upon Area" does not include a wooden slatted deck, the water area of a swimming pool, or Permeable Pavement that meets the standards outlined in the North Carolina Division of Water Quality Stormwater Best Management Practices Manual.
Density. The calculation of the total Impervious Area of a project divided by the total project area. Surface water bodies shall be included in calculations of project Density.
Department. The North Carolina Department of Environment and Natural Resources.
Design Manual. The North Carolina Department of Environment and Natural Resources, Division of Water Quality Stormwater Best Management Practices Manual approved for use in Phase II jurisdictions by the Department for the proper implementation of the requirements of the federal Phase II stormwater program. All references herein to the Design Manual are to the latest published edition or revision.
Development. Any land-disturbing activity that increases the amount of built-upon area or that otherwise decreases the infiltration of precipitation into the soil.
Division. The Division of Water Quality in the North Carolina Department of Environment and Natural Resources.
Flood Protection Zone. The FEMA 100-year floodplain as identified on the current Flood Insurance Rate Map (FIRM) published by FEMA.
High-Density Project. A project is a High-Density Project if it has more than 24 percent Built-upon Area (BUA) based on total project acreage for all residential and non-residential Development. Any project that exceeds the low-Density threshold for Built-upon Area.
Impervious Area. Impervious Areas are those surfaces which prevent the infiltration of or impede the rate of infiltration of stormwater into the soil as compared with the natural conditions prior to Development. Common Impervious Areas include, but are not limited to, compacted surfaces used for pedestrian and vehicular travel or parking and other surfaces which prevent or impede the natural infiltration of stormwater runoff that existed prior to Development.
Larger Common Plan of Development or Sale. Any area where multiple separate and distinct construction or land-disturbing activities will occur under one plan. A plan is any announcement or piece of documentation (including but not limited to a sign, public notice or hearing, sales pitch, advertisement, loan application, drawing, permit application, zoning request, subdivision application or computer design) or physical demarcation (including but not limited to boundary signs, lot stakes, or surveyor markings) indicating that construction activities may occur on a specific plot.
Low-Density Project. A project is a Low-Density Project if it has more than 15 percent Built-upon Area (BUA) and no more than 24 percent Built-upon Area (BUA) based on total project acreage for all residential and non-residential Development.
A project with an overall Density at or below the relevant low-Density threshold, but containing areas with a Density greater than the overall project Density, may be considered Low Density as long as the project meets or exceeds the post-construction model practices for Low-Density Projects and locates the higher Density in upland areas and away from surface waters and drainageways to the maximum extent practicable.
Non-structural BMP. A practice that is intended to reduce the impacts of stormwater runoff by minimizing pollution at the source and that is not a physical device constructed to control or treat stormwater runoff. Examples of Non-Structural BMPs include reducing Impervious Areas, making use of existing natural features and systems, reforestation, and cluster Development.
One-year, 24-hour Storm. The surface runoff resulting from a 24-hour rainfall of an intensity expected to be equaled or exceeded, on average, once in 12 months and with a duration of 24 hours.
Owner. The legal or beneficial Owner of land, including but not limited to a mortgagee or vendee in possession, receiver, executor, trustee, or long-term or commercial lessee, or any other person or entity holding proprietary rights in the property or having legal power of management and control of the property. "Owner" shall include long-term commercial tenants; management entities, such as those charged with or engaged in the management of properties for profit; and every person or entity having joint ownership of the property.
Perennial or Intermittent Surface Waters. A Perennial or Intermittent Surface Water shall be deemed present if the feature is approximately shown on either the most recent version of the soil survey map prepared by the Natural Resources Conservation Service of the United States Department of Agriculture (USDA) or the most recent version of the 1:24,000 scale (7.5 minute) quadrangle topographic maps prepared by the United States Geologic Survey (USGS). An exception to this requirement shall be allowed when surface waters are not present in accordance with the provisions of 15A NCAC 2B .0233 (3)(a) or similar site-specific determination made using Division-approved methodology.
Permeable Pavement. An alternative to conventional concrete and asphalt paving materials that allows for infiltration of storm water into a storage area, with void spaces that provide temporary storage.
Redevelopment. Any Development on previously-developed land, other than a rebuilding activity that results in no net increase in Built-upon Area and provides equal or greater stormwater control than the previous Development.
Riparian Buffer Zone. Any area extending 50 feet landward of all Perennial and Intermittent Surface Waters.
Stormwater Administrator. The official assigned by the Town Manager, including the official's duly authorized agent or delegate, charged with the administration and enforcement of this ordinance, which includes but is not limited to the responsibility to make decisions about stormwater permits, the design, implementation and performance of structural and Non-structural BMPs; to make determinations and render interpretations of this ordinance; to establish application requirements and schedules; to enforce the provisions of this ordinance, and to designate appropriate other person(s) who shall carry out the powers and duties of the Stormwater Administrator.
Stormwater Management Practice. Any practice designed to reduce the impacts of stormwater runoff, including both Structural and Non-structural BMPs.
Structural BMP. A physical device designed to trap, settle out, or filter pollutants from stormwater runoff; to alter or reduce stormwater runoff velocity, amount, timing, or other characteristics; to approximate the pre-Development hydrology on a developed site; or to achieve any combination of these goals. Structural BMP includes physical practices such as constructed wetlands, vegetative practices, filter strips, grassed swales, and other methods installed or created on real property.
Substantial Progress. For the purposes of determining whether sufficient progress has been made on an approved plan, one or more of the following construction activities toward the completion of a site or subdivision plan shall occur: obtaining a grading permit and conducting grading activity; or installation and approval of on-site infrastructure; or obtaining a building permit for the construction and approval of a building foundation. "Substantial Progress" for purposes of determining whether an approved plan is null and void is not necessarily the same as "substantial expenditures" used for determining vested rights pursuant to applicable law.
Two-year, 24-hour Storm. The surface runoff resulting from a 24-hour rainfall of an intensity expected to be equaled or exceeded, on average, once in two years and with a duration of 24 hours.
Ten-year, 24-hour Storm. The surface runoff resulting from a 24-hour rainfall of an intensity expected to be equaled or exceeded, on average, once in ten years and with a duration of 24 hours.
Ultra Low-Density Project. A project is an Ultra Low-Density Project if it has 15 percent or less Built-upon Area (BUA) based on total project acreage for all residential and non-residential Development. A project with an overall Density at or below the relevant ultra low-Density threshold, but containing areas with a Density greater than the overall project Density, may be considered ultra low-Density as long as the project meets or exceeds the post-construction model practices for Ultra Low-Density Projects and locates the higher Density in upland areas and away from surface waters and drainageways to the maximum extent practicable.
(A)
Review and Decision-Making Entities
(1)
Stormwater Administrator
(a)
Designation A Stormwater Administrator shall be designated by the Town Board to administer and enforce this ordinance.
(b)
Powers and Duties In addition to the powers and duties that may be conferred by other provisions of the Code of the Town of Rolesville and other laws, the Stormwater Administrator shall have the following powers and duties under this ordinance:
i.
To review and approve, approve with conditions, or disapprove applications for approval of plans pursuant to this ordinance.
ii.
To make determinations and render interpretations of this ordinance.
iii.
To enforce the provisions of this ordinance in accordance with its enforcement provisions.
iv.
To maintain records, maps, forms and other official materials as they relate to the adoption, amendment, enforcement, and administration of this ordinance.
v.
To designate appropriate other person(s) who shall carry out the powers and duties of the Stormwater Administrator.
vi.
To take any other action necessary to administer the provisions of this ordinance.
(B)
Review Procedures
(1)
Permit Required; Must Apply for Permit A stormwater permit is required for all Development and Redevelopment unless exempt pursuant to this ordinance. A permit may only be issued subsequent to a properly submitted and reviewed permit application, pursuant to this section.
(2)
Effect of Permit A stormwater permit shall govern the design, installation, and construction of stormwater management and control practices on the site, including Structural BMPs and elements of site design for stormwater management other than Structural BMPs.
The permit is intended to provide a mechanism for the review, approval, and inspection of the approach to be used for the management and control of stormwater for the Development or Redevelopment site consistent with the requirements of this ordinance, whether the approach consists of Structural BMPs or other techniques such as low-impact or low-Density design. The permit does not continue in existence indefinitely after the completion of the project; rather, compliance after project construction is assured by the maintenance provisions of this ordinance.
(3)
Authority to File Applications All applications required pursuant to this Code shall be submitted to the Stormwater Administrator by the Owner or the Owner's duly authorized agent.
(4)
Establishment of Application Requirements, Schedule, and Fees
(a)
Application Contents and Form The Stormwater Administrator shall establish requirements for the content and form of all applications and shall amend and update those requirements from time to time. At a minimum, the stormwater permit application shall describe in detail how post-Development stormwater runoff will be controlled and managed, the design of all stormwater facilities and practices, and how the proposed project will meet the requirements of this ordinance.
(b)
Submission Schedule The Stormwater Administrator shall establish a submission schedule for applications. The schedule shall establish deadlines by which complete applications must be submitted for the purpose of ensuring that there is adequate time to review applications, and that the various stages in the review process are accommodated.
(c)
Permit Review Fees Permit review fees as well as policies regarding refund of any fees upon withdrawal of an application shall be established and may be amended and updated from time to time.
(d)
Administrative Manual For applications required under this Code, the Stormwater Administrator shall compile the requirements and information on how and where to obtain the Design Manual in an Administrative Manual, which shall be made available to the public.
(5)
Submittal of Complete Application Applications shall be submitted to the Stormwater Administrator pursuant to the application submittal schedule in the form established by the Stormwater Administrator, along with the appropriate fee established pursuant to this section.
An application shall be considered a complete submittal only when it contains all elements of a complete application pursuant to this ordinance and the Wake County Erosion and Sedimentation Control regulations, if applicable, along with the appropriate fee. If the Stormwater Administrator finds that an application is incomplete, the applicant shall be notified of the deficient elements and shall be provided with an opportunity to submit a complete application. However, the submittal of an incomplete application shall not suffice to meet a deadline contained in the submission schedule established above.
(6)
Review Within 30 working days after a complete application is submitted, the Stormwater Administrator shall review the application and determine whether the application complies with the standards of this ordinance.
(a)
Approval If the Stormwater Administrator finds that the application complies with the standards of this ordinance and the Wake County Erosion and Sedimentation Control regulations, if applicable, the Stormwater Administrator shall approve the application. The Stormwater Administrator may impose conditions of approval as needed to ensure compliance with this ordinance. The conditions shall be included as part of the approval.
(b)
Fails to Comply If the Stormwater Administrator finds that the application fails to comply with the standards of this ordinance and the Wake County Erosion and Sedimentation Control regulations, if applicable, the Stormwater Administrator shall notify the applicant and shall indicate how the application fails to comply. The applicant shall have an opportunity to submit a revised application.
(c)
Revision and Subsequent Review A complete revised application shall be reviewed by the Stormwater Administrator within 15 working days after its re-submittal and shall be approved, approved with conditions or disapproved.
If a revised application is not re-submitted within six months from the date the applicant was notified, the application shall be considered withdrawn, and a new submittal for the same or substantially the same project shall be required along with the appropriate fee for a new submittal.
(C)
Applications for Approval
(1)
Concept Plan and Consultation Meeting Before a stormwater management permit application is deemed complete, the Stormwater Administrator or developer may request a consultation on a concept plan for the post-construction stormwater management system to be utilized in the proposed Development. This consultation meeting should take place at the time of the preliminary plan of subdivision or other early step in the Development process. The purpose of this meeting is to discuss the post-construction stormwater management measures necessary for the proposed project, as well as to discuss and assess constraints, opportunities and potential approaches to stormwater management designs before formal site design engineering is commenced. Local watershed plans, the Zebulon and Rolesville Open Space and Greenway Master Plan, the Framework Plan (as described in the Town of Rolesville Comprehensive Plan), and other relevant resource protection plans should be consulted in the discussion of the concept plan.
To accomplish this goal, the following information should be included in the concept plan, which should be submitted in advance of the meeting:
(a)
Existing Conditions / Proposed Site Plans Existing conditions and proposed site layout sketch plans, which illustrate at a minimum: existing and proposed topography; Perennial and Intermittent streams; mapping of predominant soils from soil surveys (if available); boundaries of existing predominant vegetation; proposed limits of clearing and grading; and location of existing and proposed roads, buildings, parking areas and other impervious surfaces.
(b)
Natural Resources Inventory A written and graphic inventory of natural resources at the site and surrounding area as it exists prior to the commencement of the project. This description should include a discussion of soil conditions, forest cover, geologic features, topography, wetlands, and native vegetative areas on the site, as well as the location and boundaries of other natural feature protection and conservation areas such as lakes, ponds, floodplains, stream buffers, Flood Protection Zones, and other setbacks (e.g., drinking water well setbacks, septic setbacks, etc.). Particular attention should be paid to environmentally sensitive features that provide particular opportunities or constraints for Development and stormwater management.
(c)
Stormwater Management System Concept Plan A written and graphic concept plan of the proposed post-Development stormwater management system including: preliminary selection and location of proposed structural stormwater controls; low-impact design elements; location of existing and proposed conveyance systems such as grass channels, swales, and storm drains; flow paths; location of floodplain/floodway limits; relationship of site to upstream and downstream properties and drainages; and preliminary location of any proposed stream channel modifications, such as bridge or culvert crossings.
(2)
Stormwater Management Permit Application
(a)
Purpose The stormwater management permit application shall detail how post-Development stormwater runoff will be controlled and managed and how the proposed project will meet the requirements of this ordinance, including Section 3, Standards.
(b)
Downstream Impact Analysis As part of the permit application, all Development and Redevelopment shall perform a Downstream Impact Analysis as specified in Section 4.B.1.
(c)
Plan Certification All such plans shall be prepared by a qualified registered North Carolina professional engineer, surveyor, soil scientist or landscape architect, and the engineer, surveyor, soil scientist or landscape architect shall perform services only in their area(s) of competence, and shall verify that the design of all stormwater management facilities and practices meets the submittal requirements for complete applications, that the designs and plans are sufficient to comply with applicable standards and policies found in the Design Manual, and that the designs and plans ensure compliance with this ordinance.
The submittal shall include all of the information required in the submittal checklist established by the Stormwater Administrator. Incomplete submittals shall be treated pursuant to Section 3.B.4.
(D)
Approvals
(1)
Effect of Approval Approval authorizes the applicant to go forward with only the specific plans and activities authorized in the permit. The approval shall not be construed to exempt the applicant from obtaining other applicable approvals from local, state, and federal authorities.
(2)
Time Limit/Expiration An approved plan shall become null and void if the applicant fails to make Substantial Progress on the site within one year after the date of approval. The Stormwater Administrator may grant a single, one-year extension of this time limit, for good cause shown, upon receiving a written request from the applicant before the expiration of the approved plan.
In granting an extension, the Stormwater Administrator may require compliance with standards adopted since the original application was submitted unless there has been substantial reliance on the original permit and the change in standards would infringe the applicant's vested rights.
(E)
Appeals
(1)
Right of Appeal Any aggrieved person affected by any decision, order, requirement, or determination relating to the interpretation or application of this ordinance made by the Stormwater Administrator, may file an appeal to the town's designated Appeal Board within 30 days.
(2)
Filing of Appeal and Procedures Appeals shall be taken within the specified time period by filing a notice of appeal and specifying the grounds for appeal on forms provided by the town. The Stormwater Administrator shall transmit to the town's designated Appeal Board all documents constituting the record on which the decision appealed from was taken.
The hearing conducted by the town's designated Appeal Board shall be conducted in the nature of a quasi-judicial proceeding with all findings of fact supported by competent, material evidence.
(3)
Review by Superior Court Every decision of the town's designated Appeal Board shall be subject to Superior Court review by proceedings in the nature of certiorari. Petition for review by the Superior Court shall be filed with the Clerk of Superior Court within 30 days after the latter of the following:
(a)
The decision of the town's designated Appeal Board is filed; or
(b)
A written copy of the decision is delivered to every aggrieved party who has filed a written request for such copy with the (Chair or Secretary of the board that will hear appeals) at the time of its hearing of the case.
(A)
Standards Based on Project Density
(1)
Development Standards for Ultra Low-Density and Low-Density Projects Ultra Low-Density Projects and Low-Density Projects shall comply with each of the following standards, in addition to the General Standards found in subsection B in this section:
(a)
Stormwater runoff from the Development shall be transported from the Development by vegetated conveyances to the maximum extent practicable.
(b)
All Development and Redevelopment shall be located outside the Riparian Buffer Zone and the Flood Protection Zone. These Zones shall be in accordance with the following provisions:
i.
Except where other applicable buffer standards are more restrictive, the Riparian Buffer Zone shall extend a minimum of 50 feet landward of all Perennial and Intermittent Surface Waters. The most restrictive standards shall apply.
ii.
The Riparian Buffer Zone shall remain undisturbed unless otherwise permitted by this section.
iii.
The Flood Protection Zone shall extend throughout the FEMA 100-year floodplain as identified on the current Flood Insurance Rate Map (FIRM) published by FEMA. The Flood Protection Zone shall remain undisturbed unless otherwise permitted by this section.
iv.
No Development or Redevelopment is permitted within the Riparian Buffer Zone or the Flood Protection Zone except for stream bank or shoreline restoration or stabilization, water dependent structures, and public or private projects such as road crossings and installations, utility crossings and installations, and greenways, where no practical alternatives exist.
v.
Permitted activities within the Riparian Buffer Zone and the Flood Protection Zone shall minimize impervious coverage, direct runoff away from surface waters to achieve diffuse flow, and maximize the utilization of Non-structural BMPs.
vi.
Where the Riparian Buffer Zone and the Flood Protection Zone both are present adjacent to surface waters, the more restrictive shall apply.
(c)
The approval of the stormwater permit shall require an enforceable restriction on property usage that runs with the land, such as a recorded deed restriction or protective covenants, to ensure that future owners maintain the site consistent with the approved project plans.
(d)
All Development and Redevelopment projects required to manage storm water shall provide permanent on-site BMPs to lower the nitrogen export amounts as part of the storm water management plan. BMPs are to be in accordance with and as specified in the Design Manual.
(e)
For Low-Density Projects only, structural and Non-structural BMPs shall be used to ensure there is no net increase in peak flow leaving the site from the pre-Development conditions for the one-year, 24-hour storm. Runoff volume drawdown time shall be a minimum of 48 hours, but not more than 120 hours.
(f)
General engineering design criteria for all projects shall be in accordance with 15A NCAC 2H .1008(c), as explained in the Design Manual;
(g)
Developers must manage runoff so that after Development the site will not exceed the Target Curve Numbers in the table in subsection A.3 of this Section.
(h)
Ultra Low-Density Projects and Low-Density Projects may be eligible for target curve number credits, as described in subsection B, below.
(2)
Maximum Curve Number after Development Developers must manage runoff so that after Development the site will not exceed the following composite curve numbers, in accordance with procedures specified in the United States Department of Agriculture, Natural Resource Conservation Service, Technical Release 55, Urban Hydrology for Small Watersheds.
(3)
Target Curve Number Credits
(a)
Purpose The purpose of establishing a stormwater credit system is to provide incentives to implement better site design and locate new Development in a manner that causes less impact to aquatic resources. Certain Development practices reduce the generation of stormwater from the site; thereby reducing the size and cost of stormwater storage. In addition, these practices can provide partial removal of many pollutants. The credit system directly translates into cost savings and better protection of water resources.
(b)
Disconnected Impervious Surfaces Disconnected impervious surfaces, included permeable pavers, are encouraged. Runoff from these disconnected surfaces must be spread over pervious areas as sheet flow. As a credit, these disconnected impervious surfaces will be assigned the lower curve number specified by procedures of the United States Department of Agriculture, Natural Resources Conservation Service, Technical Release 55, Urban Hydrology for Small Watersheds.
(c)
Reforestation The planting of trees and shrubs is encouraged as a means of reducing runoff. As a credit for such practices, reforested areas in dedicated open space will be assigned the curve number for woods in good condition per procedures in the United States Department of Agriculture, Natural Resources Conservation Service (NRCS), Technical Release 55, Urban Hydrology for Small Watersheds. Areas planted with trees or shrubs must meet the following standards to qualify for the credit.
i.
Tree/Shrub Density and Spacing Planted trees or shrubs must meet the minimum Density and spacing standards of the NRCS, as specified in the Field Office Technical Guide. Existing trees or shrubs may be used toward meeting the planting standard.
ii.
Mulching An initial application of mulch is required for the area designated for reforestation. Mulching must meet applicable standards of the NRCS, as specified in the Field Office Technical Guide. Existing groundcover may be used toward meeting the mulching standard.
(d)
Cluster, Conservation and Open Space Subdivisions Cluster, conservation and open space subdivisions are encouraged. In applying curve number calculations to such developments, calculations must take into account the lots' proportionate share of right-of-way and permanent open space.
(e)
Calculations Regarding Ponds, Lakes, and Streams Surface water bodies may not be assigned a curve number for impervious surfaces. Instead, such water bodies will be removed from calculations so that developments are not penalized for their presence. Surface water bodies shall be included in calculations of project Density.
(4)
Development Standards for High-Density Projects High-Density Projects shall implement stormwater control measures that comply with each of the following standards, in addition to the General Standards found in subsection B of this Section:
(a)
The measures shall control and treat runoff from the first inch of rain. Runoff volume drawdown time shall be a minimum of 48 hours, but not more than 120 hours.
(b)
All structural stormwater treatment systems used to meet these requirements shall be designed to have a minimum of 85 percent average annual removal for Total Suspended Solids (TSS).
(c)
All Development and Redevelopment projects required to manage storm water shall provide permanent on-site BMPs to lower the nitrogen export amounts as part of the storm water management plan. BMPs are to be in accordance with and as specified in the Design Manual.
(d)
Structural and Non-structural BMPs shall be used to ensure there is no net increase in peak flow leaving the site from the pre-Development conditions for the one-year, 24-hour storm. Runoff volume drawdown time shall be a minimum of 48 hours, but not more than 120 hours.
(e)
General engineering design criteria for all projects shall be in accordance with 15A NCAC 2H .1008(c), as explained in the Design Manual;
(f)
All Development and Redevelopment shall be located outside the Riparian Buffer Zone and the Flood Protection Zone. These Zones shall be in accordance with the following provisions:
i.
Except where other applicable buffer standards are more restrictive, the Riparian Buffer Zone shall extend a minimum of 50 feet landward of all Perennial and Intermittent Surface Waters. The most restrictive standards shall apply.
ii.
The Riparian Buffer Zone shall remain undisturbed unless otherwise permitted by this section.
iii.
The Flood Protection Zone shall extend throughout the FEMA 100-year floodplain as identified on the current Flood Insurance Rate Map (FIRM) published by FEMA. The Flood Protection Zone shall remain undisturbed unless otherwise permitted by this section.
iv.
No Development or Redevelopment is permitted within the Riparian Buffer Zone or the Flood Protection Zone except for stream bank or shoreline restoration or stabilization, water dependent structures, and public or private projects such as road crossings and installations, utility crossings and installations, and greenways, where no practical alternatives exist.
v.
Permitted activities within the Riparian Buffer Zone and the Flood Protection Zone shall minimize impervious coverage, direct runoff away from surface waters to achieve diffuse flow, and maximize the utilization of Non-structural BMPs.
vi.
Where the Riparian Buffer Zone and the Flood Protection Zone both are present adjacent to surface waters, the more restrictive shall apply.
(g)
The approval of the stormwater permit shall require an enforceable restriction on property usage that runs with the land, such as recorded deed restrictions or protective covenants, to ensure that future Development and Redevelopment maintains the site consistent with the approved project plans. Buffer widths and locations shall be clearly delineated on all plans, final plat, and as-builts.
(B)
General Standards
(1)
Downstream Impact Analysis The downstream impact analysis must be performed in accordance with the "ten percent rule," and a copy of the analysis must be provided with the permit application. The purpose of the downstream impact analysis is to determine if the project will cause any impacts on flooding or channel degradation downstream of the project site. The analysis must include the assumptions, results and supporting calculations to show safe passage of post-Development design flows downstream. This analysis shall be performed at the outlet(s) of the site, and downstream at each tributary junction to the point(s) in the conveyance system where the area of the portion of the site draining into the system is less than or equal to ten percent of the total drainage area above that point.
The typical steps in the application of the ten percent rule are:
(a)
Using a topographic map, determine the point downstream where the proposed site equals ten percent of the total drainage area, called the ten percent point. Identify all tributary junctions between the downstream site boundary and the ten percent point. All points identified, as well as the outlet of the site, are known as ten percent rule comparison points.
(b)
Using a hydrologic model with existing land uses, determine the pre-Development peak runoff rate (cfs) for the ten-year design storm event at each comparison point.
(c)
Insert the proposed site design and proposed BMPs into the land uses and determine the post-Development peak runoff rate for the ten-year design storm at each comparison point.
(d)
If the post-Development peak discharge rate is equal to or less than pre-Development conditions at all comparison points, no further analysis is required.
(e)
If the ten-year post-Development peak discharge rate is greater than the pre-Development peak discharge rate at any comparison point, then one of the following actions must be taken:
i.
Revise the site plan for the proposed site to incorporate better use of natural features, design additional structural control facilities, reduce impervious cover, or alter timing of peak flows to lower post-Development flows at each comparison point to pre-Development levels.
ii.
Obtain a flow easement from downstream property owners through the ten percent point where the post-Development peak discharge rate is higher than the pre-Development peak discharge rate.
iii.
Work with the Town to determine other acceptable approaches to reduce the peak discharge rate for the ten-year storm.
For further information on the ten percent rule, refer to the Stormwater Manual, available online.
(2)
Standards for Stormwater Control Measures
(a)
Evaluation According to Contents of Design Manual All stormwater control measures and stormwater treatment practices (or BMPs) required under this ordinance shall be evaluated by the Stormwater Administrator according to the policies, criteria, and information, including technical specifications and standards and the specific design criteria for each stormwater practice, in the Design Manual. The Stormwater Administrator shall determine whether proposed BMPs will be adequate to meet the requirements of this ordinance.
(b)
Determination of Adequacy; Presumptions and Alternatives Stormwater treatment practices that are designed, constructed, and maintained in accordance with the criteria and specifications in the Design Manual will be presumed to meet the minimum water quality and quantity performance standards of this ordinance. Whenever an applicant proposes to utilize a practice or practices not designed and constructed in accordance with the criteria and specifications in the Design Manual, the applicant shall have the burden of demonstrating that the practice(s) will satisfy the minimum water quality and quantity performance standards of this ordinance. The Stormwater Administrator may require the applicant to provide the documentation, calculations, and examples necessary for the Stormwater Administrator to determine whether such an affirmative showing is made.
(c)
Separation from Seasonal High Water Table For BMPs that require a separation from the seasonal high-water table, the separation shall be provided by at least 12 inches of naturally occurring soil above the seasonal high-water table.
(d)
Changes to Stormwater Plan Based on Emerging Technologies Subject to the standards of this ordinance and other applicable law, a developer, in conjunction with the Development's lot owners, may submit an application to revise the approved stormwater plan so as to use new technologies or best management practices not available when the original stormwater plan was approved. Innovative technologies may be used on a demonstration basis for a period of one year while simultaneously collecting data on the effectiveness of the technology according to its design. If at the end of the demonstration period the technology is not performing according to its intended design functions as judged by the Stormwater Administrator, the developer must retrofit the site with a standard technology.
(3)
Additional Stormwater Management Measures In some cases, the Stormwater Administrator may require more stringent stormwater management measures where it is determined that additional measures are required to protect water quality and maintain existing and anticipated uses of these waters or to minimize off-site damage from stormwater runoff in accordance with the purpose of this ordinance as defined in Section 1.D.
(4)
Dedication of BMPS, Facilities & Improvements The Town may elect to accept dedication of any existing or future stormwater management facility for maintenance, provided such facility meets all the requirements of this ordinance and includes adequate and perpetual access and sufficient area, by easement or otherwise, for inspection and regular maintenance.
(5)
Low Impact Development Project Classifications
(a)
All Development or Redevelopment to which this ordinance applies may be submitted for classification as a Low Impact Development (LID) Project.
(b)
Classification as a Low Impact Development Project requires that the Development mimic the pre-developed hydrologic conditions defined as woods in good condition for the two-year, 24-hour storm, within ten percent. The pre-developed conditions shall include: its hydrologic balance, frequency distribution of high flows; magnitude, frequency, and duration of low flows; groundwater recharge (or infiltration), and flow length and pattern. The conditions shall be measured through the comparison between measures of the pre-developed and developed conditions including: total runoff volume, time of concentration, curve number, and peak discharge. Mimicry of the pre-developed hydrologic conditions may be achieved through such techniques as the minimization of disturbed areas and the use of on-lot distributed retention storage as described in more detail on Wake County's Stormwater Web Site under Low Impact Development.
(c)
The following techniques must be used to achieve LID classification:
i.
Natural site design in consultation with the town;
ii.
Site buildings, roads, and other land disturbance in the least environmentally-sensitive areas, preserving steep slopes, naturally well-draining soils, and other hydrologically valuable features undisturbed;
(d)
In addition, one of the following two techniques must be used to achieve LID classification:
i.
Bio-retention systems;
ii.
On-site infiltration;
(e)
In addition, at least two of the following techniques must be used to achieve LID classification:
i.
Retention of 50 percent of vegetated area, including open space, landscaping, or forests;
ii.
Use of Permeable Pavement for all private driveways, private roads, sidewalks, and parking areas in accordance with the North Carolina Stormwater Best Management Practices Design Manual;
iii.
Installation of one rain cistern per lot or three rain barrels per lot;
iv.
Installation of vegetated roofs;
v.
Increasing all buffers in the Riparian Buffer Zone or the Flood Protection Zone, whichever is greater, by 50 feet, in accordance with Section 4.A.1.b for Low-Density and Ultra Low-Density Projects and Section 4.A.4.f for High-Density Projects.
vi.
Use of reclaimed water for all buildings in accordance with State and local laws.
vii.
Use of innovative LID techniques subject to the approval of the town.
(f)
For Development and Redevelopment projects achieving classification as LID Projects, the Stormwater Administrator shall reduce or waive the stormwater permit fee if stipulated in the fee schedule duly adopted by the applicable governing board.
(g)
Upon collaboration with the Planning Board, the Stormwater Administrator may develop and apply an expedited review schedule for Development or Redevelopment projects achieving classification as LID Projects. Such a review schedule will depend upon the continued availability of local government resources to conduct expedited reviews.
(F)
Onsite Wastewater Onsite wastewater disposal systems shall be operated and maintained in accordance with the Regulations Governing Sewage Treatment and Disposal Systems in Wake County (Regulations) adopted by the Wake County Board of Human and Environmental Services and enforced by Wake County Onsite systems shall be inspected, permitted, repaired and/or professionally operated in accordance with the Regulations and in a manner to prevent adverse impacts to surface water and groundwater. The Town of Rolesville and WCES shall collaborate on identification of areas of high risk for system failures and associated need for environmental surveys, system repairs and possible service by municipal utilities.
(A)
Performance Security for Installation and Maintenance of Improvements The Town may, at its discretion, require the submittal of a performance bond, letter of credit from, or cash escrow account with a local bank prior to issuance of a permit. If improvements are not installed prior to approval of a record plat, the Town shall require the submittal of a performance bond, letter of credit from, or cash escrow account with a local bank prior to issuance of a permit. This performance security is required in order to ensure that the Structural BMPs are:
(a)
Installed by the permit holder as required by the approved stormwater management plan, and/or
(b)
Maintained by the Owner as required by the operation and maintenance agreement.
(1)
Form and Amount of Installation Performance Security The amount of an installation performance security must equal at least 125 percent of the estimated cost of the required improvements, including project management costs that have not been installed by the time of Record Plat submittal.
(2)
Form and Amount of Maintenance Performance Security The amount of a maintenance performance security must be at least 125 percent of the total estimated construction cost of the Structural BMPs approved under the permit.
(3)
Uses of Performance Security for Installation
(a)
Forfeiture Provisions The performance security shall contain forfeiture provisions for failure, after proper notice, to complete work within the time specified, or to initiate or maintain any actions which may be required of the applicant or Owner in accordance with this ordinance, approvals issued pursuant to this ordinance, or an operation and maintenance agreement established pursuant to this ordinance.
(b)
Default Upon default of the Owner to construct, maintain, repair and, if necessary, reconstruct any Structural BMP in accordance with the applicable permit or operation and maintenance agreement, the Stormwater Administrator shall obtain and use all or any portion of the security to make necessary improvements based on an engineering estimate. Such expenditure of funds shall only be made after requesting the Owner to comply with the permit or maintenance agreement. In the event of a default triggering the use of installation performance security, the Town shall not return any of the unused deposited cash funds or other security, which shall be retained for maintenance.
(c)
Costs in Excess of Performance Security If the Town takes action upon such failure by the applicant or Owner or property owners' association, the Town may collect from the applicant or Owner or property owners' association the difference between the amount of the reasonable cost of such action and the amount of the security held, in addition to any other penalties or damages due.
(d)
Refund Within 60 days of the final approval, the installation performance security shall be refunded to the applicant or terminated, except any amount attributable to the cost (plus 25 percent) of landscaping installation and ongoing maintenance associated with the BMPs covered by the security. Any such landscaping shall be inspected one year after installation with replacement for compliance with the approved plans and specifications and, if in compliance, the portion of the financial security attributable to landscaping shall be released.
(4)
Uses of Performance Security for Maintenance
(a)
Forfeiture Provisions The performance security shall contain forfeiture provisions for failure, after proper notice, to complete work within the time specified, or to initiate or maintain any actions which may be required of the applicant or Owner in accordance with this ordinance, approvals issued pursuant to this ordinance, or an operation and maintenance agreement established pursuant to this ordinance.
(b)
Default Upon default of the Owner to construct, maintain, repair and, if necessary, reconstruct any Structural BMP in accordance with the applicable permit or operation and maintenance agreement, the Stormwater Administrator shall obtain and use all or any portion of the security to make necessary improvements based on an engineering estimate. Such expenditure of funds shall only be made after requesting the Owner to comply with the permit or maintenance agreement. In the event of a default triggering the use of installation performance security, the Town shall not return any of the unused deposited cash funds or other security, which shall be retained for maintenance.
(c)
Costs in Excess of Performance Security If the Town takes action upon such failure by the applicant or Owner or property owners' association, the Town may collect from the applicant or Owner or property owners' association the difference between the amount of the reasonable cost of such action and the amount of the security held, in addition to any other penalties or damages due.
(B)
As-Built Plans and Final Approval Upon completion of a project, the applicant shall certify that the completed project is in accordance with the approved stormwater management plans and designs, and shall submit actual "as built" plans in both digital file (one copy) and mylar formats (three mylars) for all stormwater management facilities or practices after final construction is completed.
The plans shall show the final design specifications for all stormwater management facilities and practices and the field location, size, depth, and planted vegetation of all measures, controls, and devices, as installed. The designer of the stormwater management measures and plans shall certify, under seal, that the as-built stormwater measures, controls, and devices are in compliance with the approved stormwater management plans and designs and with the requirements of this ordinance. A final inspection and approval by the Stormwater Administrator shall occur before the release of any performance securities.
No certificate of compliance or occupancy shall be issued without final as-built plans and a final inspection, or performance guarantees, and approval by the Stormwater Administrator.
(C)
Maintenance of Improvements
(1)
Maintenance Required All structural and Non-structural BMPs must be maintained so they will continue to serve their intended functions.
(2)
Parties Responsible for Maintenance of Structural BMPs
(a)
The developer must maintain structural and Non-structural BMPs until accepted by a property owners' association or lot Owner. All Structural BMPs required for residential subdivisions, including those on individual lots, must be accepted for maintenance by a property owners' association. The developer must disclose which party will be responsible for continued maintenance on the record plat and on the stormwater management plan.
(b)
Before improvements are accepted for maintenance by the property owners' association or lot Owner, the developer or the developer's engineer or other representative, as authorized by Statute, must certify to the property owners' association or lot Owner and to the Town that improvements are complete and functioning as designed.
(c)
If a property owners' association or similar legal entity is to be responsible for the maintenance and control of BMPs, it shall be established so that it has clear legal authority to maintain and exercise control over, including the power to compel contributions from subdivision property owners to cover their proportionate shares of the costs associated with the maintenance of the BMPs. Such association shall be established prior to approval of the final plat.
(d)
Documents providing for the establishment of a homeowners' association or similar legal entity in accord with this ordinance shall be approved by the Stormwater Administrator before any plat is recorded.
(3)
Maintenance Plan
(a)
The developer must record, and reference on the record plat, a maintenance plan that instructs the property owners' association or lot Owner about the annual maintenance tasks and associated costs for at least a 20-year period.
(b)
It will be the responsibility of the property owners' association or lot Owner to update the maintenance plan at least every ten years in perpetuity.
(4)
Maintenance Agreement
(a)
The developer must record, and reference on the record plat, a maintenance agreement, or restrictive covenant that sets forth the property owners' association's or lot Owner's continuing responsibilities for maintenance, including specifying how cost will be apportioned among lot owners served.
(b)
The maintenance agreement must provide that the association and its individual members are jointly and severally liable for maintenance.
(c)
The maintenance agreement shall grant to the Town a right of entry in the event that the Stormwater Administrator has reason to believe it has become necessary to inspect, monitor, maintain, repair or reconstruct the structural and Non-structural BMPs; however, in no case shall the right of entry, of itself, confer an obligation on the Town to assume responsibility for the structural and Non-structural BMPs.
(5)
Maintenance Easement The developer must record easements for access, maintenance and inspections by any property owners' association and by the town.
(6)
Annual Maintenance Inspection and Report
(a)
The person or entity responsible for maintenance of any structural and Non-structural BMPs installed pursuant to this ordinance shall submit to the Stormwater Administrator an annual inspection report from one of the following persons performing services only in their area of competence: a qualified registered North Carolina professional engineer, surveyor, landscape architect, soil scientist, aquatic biologist, or person certified by the North Carolina Cooperative Extension Service for stormwater treatment practice inspection and maintenance.
(b)
Annual inspection reports are due by June 30 of each year. The first annual report is due by June 30 following one year after approval of the as-built plan. For Structural BMPs located on properties subject to property owners' association agreements, the property owners' association is responsible for collecting and submitting information on all individual lot Structural BMPs installed pursuant to this ordinance on an annual basis. The inspection report shall contain all of the following:
The name and address of the land Owner; the recorded book and page number of the lot of each structural and Non-structural BMPs; a statement that an inspection was made of all structural and Non-structural BMPs; the date the inspection was made; a statement that all inspected structural and Non-structural BMPs are performing properly and are in compliance with the terms and conditions of the approved maintenance agreement required by this ordinance; and the original signature and seal of the engineer, surveyor, or landscape architect.
(c)
All inspection reports shall be on forms supplied by the Stormwater Administrator. An original inspection report shall be provided to the Stormwater Administrator by the first day of July following the issuance of a certificate of occupancy. Subsequent annual reports shall be due on the first day of July each year.
(D)
Inspection Program Inspections and inspection programs by the Town may be conducted or established on any reasonable basis, including but not limited to routine inspections; random inspections; inspections based upon complaints or other notice of possible violations; and joint inspections with other agencies inspecting under environmental or safety laws. Inspections may include, but are not limited to, reviewing maintenance and repair records; sampling discharges, surface water, groundwater, and material or water in BMPs; and evaluating the condition of BMPs.
If the Owner or occupant of any property refuses to permit such inspection, the Stormwater Administrator shall proceed to obtain an administrative search warrant pursuant to G.S. § 15-27.2 or its successor. No person shall obstruct, hamper or interfere with the Stormwater Administrator while carrying out his or her official duties, including inspections on private property. Refusal of Owner or occupant of any property to permit such inspection is a violation of this ordinance.
(E)
Signage Where appropriate in the determination of the Stormwater Administrator to assure compliance with this ordinance, Structural BMPs shall be posted with a conspicuous sign stating who is responsible for required maintenance and annual inspection. The sign shall be maintained so as to remain visible and legible.
(F)
Records of Installation and Maintenance Activities The Owner of each Structural BMP shall keep records of inspections, maintenance, and repairs for at least five years from the date of creation of the record and shall submit the same upon reasonable request to the Stormwater Administrator.
(G)
Nuisance The Owner of each stormwater BMP, whether structural or Non-structural BMP, shall maintain it so as not to create or result in a nuisance condition.
(A)
General
(1)
Authority to Enforce The provisions of this ordinance shall be enforced by the Stormwater Administrator, his or her designee, or any authorized agent of the town. Whenever this section refers to the Stormwater Administrator, it includes his or her designee as well as any authorized agent of the town.
(2)
Violation Unlawful Any failure to comply with an applicable requirement, prohibition, standard, or limitation imposed by this ordinance, or the terms or conditions of any permit or other Development or Redevelopment approval or authorization granted pursuant to this ordinance, is unlawful and shall constitute a violation of this ordinance.
(3)
Each Day a Separate Offense Each day that a violation continues shall constitute a separate and distinct violation or offense.
(4)
Responsible Persons/Entities Any person who erects, constructs, reconstructs, alters (whether actively or passively), or fails to erect, construct, reconstruct, alter, repair or maintain any structure, BMP, practice, or condition in violation of this ordinance shall be subject to the remedies, penalties, and/or enforcement actions in accordance with this section. Persons subject to the remedies and penalties set forth herein may include any architect, engineer, builder, contractor, developer, agency, or any other person who participates in, assists, directs, creates, causes, or maintains a condition that results in or constitutes a violation of this ordinance, or fails to take appropriate action, so that a violation of this ordinance results or persists; or an Owner, any tenant or occupant, or any other person, who has control over, or responsibility for, the use or Development of the property on which the violation occurs.
For the purposes of this article, responsible person(s) shall include but not be limited to:
(a)
Person Maintaining Condition Resulting In or Constituting Violation An architect, engineer, builder, contractor, developer, agency, or any other person who participates in, assists, directs, creates, causes, or maintains a condition that constitutes a violation of this ordinance, or fails to take appropriate action, so that a violation of this ordinance results or persists.
(b)
Responsibility for Land or Use of Land The Owner of the land on which the violation occurs, any tenant or occupant of the property, any person who is responsible for stormwater controls or practices pursuant to a private agreement or public document, or any person, who has control over, or responsibility for, the use, Development or Redevelopment of the property.
(B)
Remedies and Penalties The remedies and penalties provided for violations of this ordinance, whether civil or criminal, shall be cumulative and in addition to any other remedy provided by law, and may be exercised in any order.
(1)
Remedies
(a)
Withholding of a Building Permit The Stormwater Administrator or other authorized agent may refuse to issue a building permit for a building or other improvements constructed or being constructed on any Development site and served by the Structural BMP in question until the applicant or other responsible person has taken the remedial measures set forth in the notice of violation or has otherwise cured the violations described therein.
(b)
Withholding of Certificate of Occupancy The Stormwater Administrator or other authorized agent may refuse to issue a certificate of occupancy for the building or other improvements constructed or being constructed on the site and served by the stormwater practices in question until the applicant or other responsible person has taken the remedial measures set forth in the notice of violation or has otherwise cured the violations described therein.
(c)
Disapproval of Subsequent Permits and Development Approvals As long as a violation of this ordinance continues and remains uncorrected, the Stormwater Administrator or other authorized agent may withhold, and the Board of Commissioners may disapprove, any request for permit or Development approval or authorization provided for by this ordinance or the zoning and subdivision ordinances for the land on which the violation occurs.
(d)
Injunction, Abatements, etc. The Stormwater Administrator, with the written authorization of the Town Manager, may institute an action in a court of competent jurisdiction for a mandatory or prohibitory injunction and order of abatement to correct a violation of this ordinance. Any person violating this ordinance shall be subject to the full range of equitable remedies provided in the General Statutes or at common law.
(e)
Correction as Public Health Nuisance, Costs as Lien, etc. If the violation is deemed dangerous or prejudicial to the public health or public safety and is within the geographic limits prescribed by North Carolina G.S. § 160A-193, the Stormwater Administrator, with the written authorization of the Town Manager, may cause the violation to be corrected and the costs to be assessed as a lien against the property.
(f)
Stop Work Order The Stormwater Administrator may issue a stop work order to the person(s) violating this ordinance. The stop work order shall remain in effect until the person has taken the remedial measures set forth in the notice of violation or has otherwise cured the violation or violations described therein. The stop work order may be withdrawn or modified to enable the person to take the necessary remedial measures to cure such violation or violations.
(2)
Civil Penalties Violation of this ordinance may subject the violator to a civil penalty to be recovered in a civil action in the nature of a debt if the violator does not pay the penalty within 30 days after notice of the violation is issued by the Stormwater Administrator. Civil penalties may be assessed up to the full amount of penalty to which the Town of Rolesville is subject for violations of its Phase II Stormwater permit, or if no Phase II Stormwater permit exists for the jurisdiction, civil penalties may be assessed up to the full amount allowed by law.
(3)
Criminal Penalties Violation of this ordinance may be enforced as a misdemeanor subject to the maximum fine permissible under North Carolina law. A civil penalty may be assessed from the date of the violation.
Each day of a continuing violation constitutes a separate violation.
(C)
Procedures
(1)
Initiation/Complaint Whenever a violation of this ordinance occurs, or is alleged to have occurred, any person may file a written complaint. Such complaint shall state fully the alleged violation and the basis thereof, and shall be filed with the Stormwater Administrator, who shall record the complaint. The complaint shall be investigated promptly by the Stormwater Administrator.
(2)
Inspection The Stormwater Administrator shall have the authority, upon presentation of proper credentials, to enter and inspect any land, building, structure, or premises to ensure compliance with this ordinance.
(3)
Notice of Violation and Order to Correct When the Stormwater Administrator finds that any building, structure, or land is in violation of this ordinance, the Stormwater Administrator shall notify, in writing, the property Owner or other person violating this ordinance. The notification shall indicate the nature of the violation, contain the address or other description of the site upon which the violation is occurring, order the necessary action to abate the violation, and give a deadline for correcting the violation. If civil penalties are to be assessed, the notice of violation shall also contain a statement of the civil penalties to be assessed, the time of their accrual, and the time within which they must be paid or be subject to collection as a debt.
The Stormwater Administrator may deliver the notice of violation and correction order personally, by the Code Enforcement Officer, by certified or registered mail, return receipt requested, or by any means authorized for the service of documents by Rule 4 of the North Carolina Rules of Civil Procedure.
If a violation is not corrected within a reasonable period of time, as provided in the notification, the Stormwater Administrator may take appropriate action under this ordinance to correct and abate the violation and to ensure compliance with this ordinance.
(4)
Extension of Time A person who receives a notice of violation and correction order, or the Owner of the land on which the violation occurs, may submit to the Stormwater Administrator a written request for an extension of time for correction of the violation. On determining that the request includes enough information to show that the violation cannot be corrected within the specified time limit for reasons beyond the control of the person requesting the extension, the Stormwater Administrator may extend the time limit as is reasonably necessary to allow timely correction of the violation, up to, but not exceeding 14 days. The Stormwater Administrator may grant seven-day extensions in addition to the foregoing extension if the violation cannot be corrected within the permitted time due to circumstances beyond the control of the person violating this ordinance. The Stormwater Administrator may grant an extension only by written notice of extension. The notice of extension shall state the date prior to which correction must be made, after which the violator will be subject to the penalties described in the notice of violation and correction order.
(5)
Enforcement After Time to Correct After the time has expired to correct a violation, including any extension(s) if authorized by the Stormwater Administrator, the Stormwater Administrator shall determine if the violation is corrected. If the violation is not corrected, the Stormwater Administrator may act to impose one or more of the remedies and penalties authorized by this ordinance.
(6)
Emergency Enforcement If delay in correcting a violation would seriously threaten the effective enforcement of this ordinance or pose an immediate danger to the public health, safety, or welfare, then the Stormwater Administrator may order the immediate cessation of a violation. Any person so ordered shall cease any violation immediately. The Stormwater Administrator may seek immediate enforcement, without prior written notice, through any remedy or penalty authorized by this article.
(7)
Variances
(a)
Any person may petition the Town for a variance granting permission to use the person's land in a manner otherwise prohibited by this ordinance. To qualify for a variance, the petitioner must show all of the following:
(i)
Unnecessary hardships would result from strict application of this ordinance.
(ii)
The hardships result from conditions that are peculiar to the property, such as the location, size, or topography of the property.
(iii)
The hardships did not result from actions taken by the petitioner.
(iv)
The requested variance is consistent with the spirit, purpose, and intent of this ordinance; will secure public safety and welfare; and will preserve substantial justice.
(b)
The Town may impose reasonable and appropriate conditions and safeguards upon any variance it grants.
(c)
Statutory exceptions Notwithstanding subdivision (a) of this section, exceptions from the Riparian Buffer Zone and Flood Protection Zone requirements as well as the deed restrictions and protective covenants requirements shall be granted in any of the following instances:
i.
When there is a lack of practical alternatives for a road crossing, railroad crossing, bridge, airport facility, or utility crossing as long as it is located, designed, constructed, and maintained to minimize disturbance, provide maximum nutrient removal, protect against erosion and sedimentation, have the least adverse effects on aquatic life and habitat, and protect water quality to the maximum extent practicable through the use of BMPs.
ii.
When there is a lack of practical alternatives for a stormwater management facility; a stormwater management pond; or a utility, including, but not limited to, water, sewer, or gas construction and maintenance corridor, as long as it is located 15 feet landward of all Perennial and Intermittent Surface Waters and as long as it is located, designed, constructed, and maintained to minimize disturbance, provide maximum nutrient removal, protect against erosion and sedimentation, have the least adverse effects on aquatic life and habitat, and protect water quality to the maximum extent practicable through the use of BMPs.
iii.
A lack of practical alternatives may be shown by demonstrating that, considering the potential for a reduction in size, configuration, or Density of the proposed activity and all alternative designs, the basic project purpose cannot be practically accomplished in a manner which would avoid or result in less adverse impact to surface waters.
(A)
Illicit Discharges and Connections
(1)
Illicit Discharges No person shall cause or allow the discharge, emission, disposal, pouring, or pumping directly or indirectly to any stormwater conveyance, the waters of the State, or upon the land in manner and amount that the substance is likely to reach a stormwater conveyance or the waters of the State, any liquid, solid, gas, or other substance, other than stormwater; provided that non-stormwater discharges associated with the following activities are allowed and provided that they do not significantly impact water quality:
(a)
Water line flushing;
(b)
Landscape irrigation;
(c)
Diverted stream flows;
(d)
Rising ground waters;
(e)
Uncontaminated ground water infiltration (as defined at 40 CFR 35.2005(20));
(f)
Uncontaminated pumped ground water;
(g)
Discharges from potable water sources;
(h)
Foundation drains;
(i)
Air conditioning condensation;
(j)
Irrigation water;
(k)
Springs;
(l)
Water from crawl space pumps;
(m)
Footing drains;
(n)
Lawn watering;
(o)
Individual residential car washing;
(p)
Flows from riparian habitats and wetlands;
(q)
Dechlorinated swimming pool discharges;
(r)
Street wash water; and
(s)
Other non-stormwater discharges for which a valid NPDES discharge permit has been approved and issued by the State of North Carolina, and provided that any such discharges to the municipal separate storm sewer system shall be authorized by the town.
Prohibited substances include but are not limited to: oil, anti-freeze, chemicals, animal waste, paints, garbage, and litter.
(2)
Illicit Connections
(a)
Connections to a stormwater conveyance or stormwater conveyance system that allow the discharge of non-stormwater, other than the exclusions described in subsection (A) above, are unlawful. Prohibited connections include, but are not limited to: floor drains, waste water from washing machines or sanitary sewers, wash water from commercial vehicle washing or steam cleaning, and waste water from septic systems.
(b)
Where such connections exist in violation of this section and said connections were made prior to the adoption of this provision or any other ordinance prohibiting such connections, the property Owner or the person using said connection shall remove the connection within one year following the effective date of this ordinance. However, the one-year grace period shall not apply to connections which may result in the discharge of hazardous materials or other discharges which pose an immediate threat to health and safety, or are likely to result in immediate injury and harm to real or personal property, natural resources, wildlife, or habitat.
(c)
Where it is determined that said connection:
i.
May result in the discharge of hazardous materials or may pose an immediate threat to health and safety, or is likely to result in immediate injury and harm to real or personal property, natural resources, wildlife, or habitat, or
ii.
Was made in violation of any applicable regulation or ordinance, other than this section;
The Stormwater Administrator shall designate the time within which the connection shall be removed. In setting the time limit for compliance, the Stormwater Administrator shall take into consideration:
i.
The quantity and complexity of the work,
ii.
The consequences of delay,
iii.
The potential harm to the environment, to the public health, and to public and private property, and
iv.
The cost of remedying the damage.
(3)
Spills Spills or leaks of polluting substances released, discharged to, or having the potential to released or discharged to the stormwater conveyance system, shall be contained, controlled, collected, and properly disposed. All affected areas shall be restored to their preexisting condition.
Persons in control of the polluting substances immediately prior to their release or discharge, and persons owning the property on which the substances were released or discharged, shall immediately notify the Rolesville Fire Chief of the release or discharge, as well as making any required notifications under state and federal law. Notification shall not relieve any person of any expenses related to the restoration, loss, damage, or any other liability which may be incurred as a result of said spill or leak, nor shall such notification relieve any person from other liability which may be imposed by state or other law.
(4)
Nuisance Illicit discharges and illicit connections which exist within the planning jurisdiction of the Town of Rolesville are hereby found, deemed, and declared to be dangerous or prejudiced to the public health or public safety and are found, deemed, and declared to be public nuisances. Such public nuisances shall be abated in accordance with the procedures set forth in sections 10-106 and 10-107 of the Code of the Town of Rolesville.
The purpose of this section is to maintain the long-term safety and mobility function of the proposed U.S. 401 Bypass (R-2814); to limit the number of conflict points and thereby, reduce the need for additional crossover locations and traffic signals; to promote improved pedestrian and vehicular circulation; to encourage land assembly and the most desirable use of land in accordance with the Town of Rolesville Community Plan; to encourage designs which produce a desirable relationship between individual buildings; and to control visibility obstructions and clutter.
The Special Highway Overlay District (hereby know as SHOD) shall be overlays to the existing underlying districts as shown on the official zoning map and as such, the provisions (development standards, access, and internal circulation) of the SHOD shall serve as a supplement to the underlying district regulations and provisions. The uses permitted within the SHOD (whether by right, special use permit, or conditional use permit) shall be as permitted within Article 5 of this Unified Development Ordinance. Where there is any conflict between provisions or requirements between the SHOD or the underlying zoning, the more restrictive shall apply.
The SHOD boundaries shall be established on the official zoning map of the Town of Rolesville and are hereby as part of the proposed U.S. 401 Bypass route as presented by the North Carolina Department of Transportation under project number R-2814. The development standards within this Article shall apply to all property with frontage of the approved corridor existing from Louisbury Road to NC 96. If a parcel of land has any part within the 25 feet buffer of this proposed road, all structures and site design elements listed within this ordinance shall pertain to the entire property. The official map of the U.S. 401 Bypass route corridor shall be located and maintained by the Zoning Administrator.
The development standards herein shall apply to all property within the SHOD except for the following
A.
Residential uses and farm related uses located on individual parcels of land that are not part of a subdivision, commercial, or industrial development.
B.
Property that has been developed prior to the effective date of this ordinance.
In addition to the existing development standards within the Unified Development Ordinance, the following additional standards shall apply in all underlying zoning districts within the SHOD.
A.
Façades: All structures must have façades that shall either be of brick, fiber cement board, metal, glass, or stone. No other façades materials shall be installed unless otherwise approved by the Town Board of Commissioners.
B.
Roof: All structures must have roofing made of asphalt, slate, rubber membrane, or metal.
C.
Mechanical Equipment:
1.
Located on the ground - All mechanical equipment located on the ground shall be screened with a façade similar in color and material as the exterior of the primary structure. The height of the screening wall shall be no less than the highest point of the mechanical equipment being screened. All access points to the mechanical equipment shall be serviced by gates made of either metal or a composite material. Wooden gates will not be permitted.
2.
Located on the roof - All mechanical equipment located on the roof shall be screened with a parapet or low wall with a façade in similar color as the exterior of the building it is located on. The height of the screening wall shall be no less than the highest point of the mechanical equipment being screened.
D.
Dumpster and Waste Disposal Equipment: All dumpsters and waste disposal equipment shall be screened with a façade similar in color and material as the exterior of the primary structure. The height of the screening wall shall be no less than the highest point of the dumpster or waste disposal equipment being screened. All access points to the dumpster and waste disposal equipment shall be serviced by opaque screened gates made of either metal or a composite material. Wooden gates will not be permitted
E.
Location of primary buildings on the property: All buildings are encouraged not to have the service area (dumpsters, loading docks, and the like) side of the building face any public road.
F.
Landscaping:
1.
Grasses - Drought tolerant grasses (Bermuda, zoysia, and the like) are encouraged to be sowed or laid down in turf areas.
2.
Berms - In transitional areas where there are adjacent residential uses that exist, berms and swales shall be required. Such berms shall have a slope no greater than a 2:1 slope and shall not be over 48 inches in height measured from the ground up. All berms shall be landscaped and may be counted when meeting landscape buffering setback requirements.
3.
Tree survey - On parcels of land greater than ten acres in size at the time the time a application is submitted, a tree survey shall be submitted that was performed by a certified landscape architect or arborist. This tree survey shall note all trees with a six feet or greater circumference. The size of a parcel of land shall be calculated by the existing acreage when the development review application is submitted.
4.
Maintenance of landscaping - All vegetation planted shall be bonded for 125 percent of the cost of materials and installation for the first two years after site construction completion.
G.
Stormwater Devices: All retention and detention ponds not subject to recreational use shall be landscaped with a five feet thick vegetative buffer. This buffer shall be of vegetation planted at maturity and shall be opaque in nature. The buffer shall also consist of a fence that is similar in color as the exterior of the primary structure. If the fence is a chain linked fence then it shall be of the PVC coated variety.
H.
Utilities: All existing and new above-ground electrical, telephone, and cable utility lines shall be placed underground. All improvements to existing and new utilities when crossing public or private roads shall also be placed underground.
I.
On-site Parking:
1.
Connectivity - Connectivity via service roads and cross access agreements to adjacent properties is required.
2.
Markings - All parking lot, safety, and directional markings within parking areas and public or private roads shall be of the thermo-stripe material paint
3.
Overnight parking - The overnight parking of all motor vehicles (including over the road tractors, trailers, recreational vehicles, and the like) is prohibited. Signs stating prohibiting overnight parking shall be erected at the entrance of the property at the cost of the property owner.
J.
Energy and Environmental Design: The design of all structures is encouraged to meet LEED (Leadership in Energy and Environmental Design) standards.
Amendments
10-4-04 to entire document; 5-1-06 to § 7.2 through TA06-05; 3-20-07 to § 7.1.4 through
TA07-03; 7-17-07 to § 7.2.5.6 through TA07-06; 10-01-07 to § 7.1 through TA07-08;
2-17-09 to § 7.1 through TA09-01; 2-17-09 to § 7.4 through TA09-02; 5-19-09 to § 7.1
through TA09-03; 8-3-09 to § 7.5 through TA09-05; 10-20-09 to § 7.6 through TA08-02;
7-2-12 to § 7.1.1 through TA12-02; 10-1-12 to § 7.5.4 through TA12-06; 3-22-16 to
§ 7.4 through TA16-01.