Commercial Specific Plan Area
A.
Specific Plan Area. The Sonora Commercial Specific Plan Area is an approximately 12.91 acre site located in the City of Sonora in Tuolumne County, California on the southeast corner of Old Wards Ferry Road and Sanguinetti Road (Figures 1 and 2). Regional access to the specific plan area is provided from State Routes (SR) 108 and 49. The specific plan area is bounded by Sanguinetti Road, the Crossroads Plaza, and freestanding stores associated with the Sonora Crossroads to the north; SR-108 and undeveloped land to the south; stores and parking areas in the Sonora Crossroads to the east; and Old Wards Ferry Road, the Crossroads Plaza and undeveloped land to the west. The undeveloped land to the south of the specific plan area is located in unincorporated Tuolumne County, is zoned exclusive agricultural, 37-acre minimum (AE37)/open space (O-1) and is entitled to be developed as a law and justice center. The undeveloped land to the west of the specific plan area is within the city limits, is zoned general commercial (GC) and is entitled to be developed as a Lowe's Home Improvement Warehouse.
B.
Purpose of the Specific Plan. A specific plan is a combination policy statement and implementation tool that can be used to address the unique needs of a particular area of a city or county. As a result, emphasis is on concrete standards and development criteria for use in the submission and review of subsequent development plans and permits. The California Government Code permits the use of specific plans to regulate site development, including permitted uses such as density, building size, and placement. Specific plans also govern the landscaping and roadways, as well as the provision of infrastructure and utilities. Since the development guidelines established in a specific plan focus on the unique needs of a specific area, specific plans allow for greater flexibility than is possible with conventional zoning.
The purpose of the Sonora Commercial Specific Plan is to assist in the development of the site in a manner that will benefit local shoppers, the general public, and the City of Sonora. The specific plan accomplishes these purposes by providing for the efficient use of land, ensuring compatibility between existing and proposed land uses, and establishing environmental and development standards and procedures to be met in development of the specific plan area. The customized development regulations contained in the specific plan address the unique characteristics of the site and surrounding properties, as well as the needs of the commercial land uses proposed for the site. These efforts area intended to foster greater economic development and design opportunities than could be achieved through the use of conventional zoning and development standards.
As used herein, the term "developer" shall mean the current fee title holder of the Sonora Commercial Specific Plan area.
C.
Project Objectives. The objectives of the Sonora Commercial Specific Plan are as follows:
1.
Promote economic growth and development that is consistent with the policies of the City of Sonora General Plan.
2.
Provide development that maximizes the specific plan area's use potential in a manner consistent with the City of Sonora General Plan.
3.
Generate sales tax and property tax revenues to accrue to the various agencies within the specific plan area.
4.
Solidify Sonora's position as the regional shopping destination for Tuolumne and Calaveras Counties.
5.
Provide regional commercial retail activities that would complement existing local retail activities.
6.
Create additional employment opportunities for local area residents.
7.
Expand and upgrade an existing retail facility to provide a modern and energy efficient facility to serve local residents and visitors with essential goods and services and daytime and nighttime shopping opportunities in a safe and secure environment.
8.
Minimize travel lengths and utilize existing infrastructure to the maximum extent possible by expanding and revitalizing an existing retail store located within a larger regional retail node.
D.
Authority. The Sonora Commercial Specific Plan has been prepared in accordance with Government Code Sections 65450 et seq. and 66450 et seq. and will constitute the zoning for the specific plan area. Land use standards and regulations contained within this document shall govern future development within the boundaries of this specific plan.
The Sonora Commercial Specific Plan provides a framework for development of the specific plan area. The specific plan provides guidance for the review of specific development proposals and is the city's reference document for determining permitted uses, intensity of use, and development standards and requirements. The specific plan defines objectives, as well as regulations and requirements for development of the Sonora Commercial Specific Plan area.
E.
General Requirements.
1.
General Plan Consistency. Implementation of the Sonora Commercial Specific Plan is intended to carry out the goals and policies contained in the City of Sonora General Plan, as amended, in an orderly and attractive fashion. Development within the Sonora Commercial specific plan area shall, therefore, be consistent with the provisions of the City of Sonora General Plan.
The Sonora Commercial specific plan implements the general plan by:
a.
Expanding shopping opportunities within a well-established retail node in the City of Sonora in an area that supports urban development and is currently served by urban infrastructure and services.
b.
Promoting a functional development pattern and land use compatibility by providing additional retail opportunities that would be consistent with the land use designations of the specific plan area and surrounding commercial areas.
c.
Creating a commercial area that is designed to protect the public, existing and planned land uses, and the environment from natural and development hazards.
d.
Enhancing the quality of life by offering expanded retail opportunities, creating new jobs and increasing the tax base while incorporating measures to mitigate impacts on the environment.
e.
Providing retail shopping opportunities outside a strip commercial development and within a planned, group concentration to promote integrated, rather than scattered, visitor- serving commercial developments.
f.
Minimizing the visual impact of parking areas from public transportation routes in the specific plan area, including Sanguinetti Road and Wards Ferry Road.
g.
Contributing to an integrated transportation system and upgraded street and highway network that will provide for the safe, efficient, and economic movement of goods and people to meet current and projected community needs.
h.
Establishing and encouraging an integrated system of bicycle, pedestrian and other non-motorized transportation routes in a commercial area.
i.
Conserving the City's natural, scenic and cultural resources along SR-108, a potential scenic gateway corridor.
j.
Conserving energy resources in a manner which maintains or enhances air quality, water quality, scenic value and other natural resources.
k.
Reducing the consumption of energy, products and resources through increased recycling, reuse and alternative use of products.
l.
Conserving the quality and quantity of water resources in the city and county.
m.
Providing securing personnel and surveillance systems within the specific plan area to reduce the likelihood of criminal activity.
n.
Controlling development so as to promote the maintenance of adequate city-provided police, fire, administrative and public works services and infrastructure.
o.
Implementing construction and operational air quality control measures.
p.
Enhancing the city's economic vitality while conserving the city's social, cultural, environmental and aesthetic resources.
q.
Encouraging development that complements, blends in with and is aesthetically compatible with its surroundings and existing landscape and streetscape.
r.
Avoiding degeneration of the city's commercial districts resulting from vacant large, non-historic retail facilities.
2.
Redevelopment Plan Consistency. Implementation of the Sonora Commercial Specific Plan is intended to carry out the goals and policies contained in the City of Sonora Redevelopment Plan and does not modify or amend the Sonora Redevelopment Plan. Development within the Sonora Commercial Specific Plan area shall, therefore, be consistent with the City of Sonora Redevelopment Plan.
The Sonora Commercial Specific Plan implements the redevelopment plan by contributing to:
a.
The expansion and diversification of the community's economic and employment base, through facilitation of year-round employment opportunities.
b.
The strengthening of the general retail and service commercial sectors of the local economy through diversification and enhancement of population-generated and income-generated retail demand.
c.
The recapture of general retail sales leakage from Sonora to other, larger trade centers.
d.
The increase of capture potential from commercial trade originating through traffic on SR-49 and SR-108.
e.
The improvement to infrastructure supporting the specific plan area and the removal of existing impediments to the economic development of the community.
3.
Relationship between specific plan Development Standards Criteria and the City of Sonora Municipal Code. Development regulations and requirements contained in this document will supplement or replace those of the City of Sonora Municipal Code as they might otherwise apply to lands within the Sonora Commercial Specific Plan area. Any regulations or requirements not specifically covered herein shall be subject to the regulations and requirements of the City of Sonora Municipal Code, design guidelines and engineering standards and other applicable regulations, in addition to all applicable local, state and federal ordinances, laws or regulations.
If any provision of this document conflicts with the regulations or requirements of the City of Sonora Municipal Code, the provisions of this document shall take precedence. The process for approving development under the Sonora Commercial specific plan shall be set forth in Section 17.33.050.
4.
Conformance with Uniform Building and Fire Codes. All construction within the Sonora Commercial Specific Plan shall be in compliance with Title 15 "Buildings and Construction" of the Sonora Municipal Code.
5.
Provision of Infrastructure. Unless otherwise specifically approved as part of this specific plan, all off-site improvements under the control of the city shall be subject to the City of Sonora regulations and requirements in effect at the time improvement plans are submitted. Other improvements not under the control of the city (e.g., electricity, natural gas, telephone) shall be subject to the regulations and requirements of the responsible agency.
Specific requirements for infrastructure are set forth in Table 17.33.060-1. To ensure the cost-effective availability of current and adequate infrastructure and services during the development of the specific plan area, infrastructure plans may be modified upon approval of the City of Sonora Public Works Supervisor, which pursuant to Section 17.33.050 shall be ministerial, final and not subject to appeal and without the need to amend this specific plan.
6.
Severability. If any term, provision, condition, requirement, or portion thereof of this specific plan is for any reason held invalid, unenforceable, or unconstitutional, the remainder of this specific plan or the application of such term, provision, condition, requirement, or portion thereof to circumstances other than those in which it is held to be invalid, unenforceable, or unconstitutional, shall not be affected thereby; and each other term, provision, condition, requirement, or portion thereof shall be held valid and enforceable to the fullest extent permitted by law.
7.
Costs. The developer shall pay the costs of any code enforcement activities, including attorney's fees, resulting in the violation of any Provisions of the Sonora Municipal Code, including the Sonora Commercial Specific Plan. The developer shall be responsible for the entire cost to implement the environmental standards in accordance with Section 17.33.060 of this specific plan.
8.
Consent to Hold Harmless. The developer shall, as a requirement of any development within the Sonora Commercial Specific Plan, agree to:
a.
Defend, indemnify and hold harmless the city and agents, officers, attorneys and employees from any claim, action, or proceeding (collectively referred to as proceeding) brought against the city or its agents, officers, attorneys or employees to attack, set aside, void, or annul any action by the city related to or in furtherance of this specific plan, but excluding any subdivision approval governed by Government Code Section 66474.9. This indemnification shall include damages, fees and/or costs awarded against the city, if any, and cost of suit, attorney's fees, and other costs, liabilities and expenses incurred in connection with such proceeding whether incurred by applicant, the city, and/or the parties initiating or bringing the proceeding;
b.
Defend, indemnify and hold harmless the city, its agents, officers, employees and attorneys for all costs incurred in additional investigation and/or study of, or for supplementing, preparing, redrafting, revising, or amending any document associated with the specific plan if made necessary by the proceeding and if applicant desires to pursue securing these approvals, after initiation of such proceeding, which are conditioned on approval of such documents; and
c.
Indemnify the city for all of the city's costs, fees and damages which the city incurs in enforcing the indemnification provisions set forth in this section.
In the event the developer is required to defend, indemnify, and hold harmless the city pursuant to this section, the city reserves the right to approve the counsel to defend the city; all significant decisions concerning the manner in which the defense is conducted; and any and all settlements, which approval shall not be unreasonably withheld.
The city shall also have the right not to participate in the defense, except that the city agrees to cooperate with the developer in the defense of the proceeding. If the city chooses to have counsel of its own defend any proceeding where the developer has already retained counsel to defend the city in such matters, the fees and expenses of the counsel selected by the city shall be paid by the city. Notwithstanding this, if the city attorney's office participates in the defense, all city attorney fees and costs shall be paid by the developer.
(Adopted by Ord. 796 on 10/28/2010)
A.
Site Conditions and Existing Land Uses.
1.
Historical and Existing Land Uses.
a.
Previous Land Use. The specific plan area is currently developed with a 130,166 square foot retail store and associated parking. A rough-graded pad is located to the east of the retail store.
b.
Existing On-Site General Plan Land Use and Zoning. The specific plan area is currently designated heavy commercial by the City of Sonora General Plan. The heavy commercial land use designation is intended for a broad range of commercial land uses for both residents and visitors. Typical uses include shopping centers located within urban areas and along major thoroughfares. The specific plan area is currently designated general commercial (GC) by the City of Sonora Zoning Code. The GC zoning district is intended to provide land necessary for heavy commercial service facilities in well planned areas to serve the community and provide employment and income for its residents. The zone permits retail sales as of right. The general plan and zoning designations are illustrated in Figures 3 and 4.
c.
Surrounding Land Uses. Land uses surrounding the Sonora Commercial Specific Plan area are characterized by commercial uses immediately north, east and west of the site and undeveloped but entitled land to the south and also to the west. The surrounding commercial uses include Blockbuster Video and Big 5 Sporting Goods to the north, Safeway, Staples and vacant spaces formerly occupied by Mervyn's to the east and Regal Sonora Stadium 10 Cinemas, a 16,000 square foot office/retail building and an Applebee's restaurant to the west in Crossroad Plaza. To the south, the undeveloped land in Tuolumne County south of SR-108 is approved for development as a law and justice center. To the west, west of Old Wards Ferry Road, the undeveloped land is approved for development of a Lowe's Home Improvement Warehouse. The specific plan area is bounded by the Sierra Railroad and Sanguinetti Road to the north, SR-108 to the south and Old Wards Ferry Road to the west. Sanguinetti Road is a two-lane undivided road with two grade crossings of the Sierra Railroad. SR-108 is an undivided three-lane facility (two eastbound, one westbound) and is located approximately 12 to 15 feet below the specific plan area. Old Wards Ferry Road is a two-lane undivided roadway with a grade crossing of the Sierra Railroad. The surrounding land uses are illustrated in Figure 5.
B.
Existing Circulation.
1.
Regional Circulation. Excellent regional access to the specific plan area is provided by SR-108 and SR49.
SR-108 is an east-west highway that provides regional access throughout Tuolumne County and neighboring counties of Stanislaus and Mono. It originates in Modesto to the west and terminates at US 395, near the California-Nevada border. It is generally a two-lane undivided highway, with some sections providing two lanes in each direction. In the vicinity of the specific plan area, SR-108 accommodates approximately 18,600 vehicles per day. Access to and from the specific plan area is provided at the two signalized intersections at the Mono Way interchange.
SR-49, which is designated as Washington Street in Sonora, is a north- south highway that provides regional access throughout Tuolumne County and surrounding areas. In the vicinity of the specific plan area, Washington Street is a two-lane roadway that primarily serves commercial uses throughout Downtown Sonora.
2.
Local Circulation. Major roadways in and around the specific plan area are Mono Way, Greenley Road, Sanguinetti Road and Old Wards Ferry Road.
Mono Way is an east-west arterial roadway that parallels SR-108 in the vicinity of the specific plan area. Mono Way stretches from Washington Street to the west and becomes the Sonora Bypass Highway/SR-108 to the east. Between Washington Street and Greenley Road, Mono Way has one lane in each direction. East of Greenley Road, it has two eastbound lanes, one westbound lane, and a center two-way left-turn lane to serve the commercial uses on both sides of the street. The posted speed limit along Mono Way is 30 miles per hour (mph).
Greenley Road is a north-south collector roadway connecting Lyons Street/Lyons Bald Mountain Road to the north and Sanguinetti Road to the south. Between Sanguinetti Road and Sonora Hills Drive, there are two southbound lanes, one northbound lane, and a center two-way left- turn lane. North of Sonora Hills Drive, Greenley Road has one lane in each direction with a center two-way left-turn lane. North of Sonora Hills Drive, Greenley Road has one lane in each direction with a center two- way left-turn lane and primarily serves residential neighborhoods. The posted speed limit along Greenley Road is 25 mph.
Sanguinetti Road is an east-west minor collector roadway that also provides direct access to the specific plan area. Sanguinetti Road stretches from Mono Way to the west to Loop Road to the east. Between Mono Way and Greenley Road, it is a one-way street providing two lanes in the eastbound direction. East of Greenley Road, there are two lanes in the eastbound direction and one lane in the westbound direction, with a center two-way left-turn lane serving the adjacent commercial driveways. The posted speed limit along Sanguinetti Road is 25 mph west of Old Wards Ferry Road and 30 mph to the east.
Old Wards Ferry Road is a north-south minor collector roadway that provides direct access to the specific plan area. Old Wards Ferry Road stretches from Sanguinetti Road to the north to rural areas of Tuolumne County to the south. In the vicinity of the specific plan area, it is a two- lane roadway. In May 2009, the Sonora City Council approved the realignment of Old Wards Ferry Road. The road would be realigned to the west to create a four-legged intersection with the existing Greenley Road/Sanguinetti Road intersection. The road would be realigned in concert with the development of the approved Lowe's Home Improvement Warehouse, located to the west of the specific plan area.
3.
Public Transit. Tuolumne County Transit provides transit service to Sonora, Jamestown, Columbia, Tuolumne, Twain Harte, Sierra Village, and Groveland. The agency provides fixed-route bus service, flex-route bus service, and Dial-A-Ride service.
The specific plan area is served by Routes 1, 2, and 3. All three routes provide fixed-route service and serve the Sonora Crossroads and the Sonora Regional Medical Center, the nearest stops to the specific plan area. All fixed-route buses are equipped with bicycle racks.
Route 1 provides looped service within the Sonora area with 17 bus trips a day, Monday through Friday. Route 2 provides endpoint-to-endpoint service between Sierra Village and Columbia via Sonora. Five bus trips per day are provided in each direction, Monday through Friday. Route 3 provides endpoint-to-endpoint service between Jamestown and Columbia via Sonora. Four bus trips per day are provided in each direction, Monday through Friday.
Dial-A-Ride service offers curbside pickup and drop-off service to disabled persons with and without Americans with Disabilities Act (ADA) certification and persons who are 55 years of age and older. Dial-A-Ride services also are available to the general public within specific service areas.
C.
Existing Physical Conditions.
1.
Topography. The specific plan area is located in the City of Sonora, which is the north-central portion of Tuolumne County and is ringed by several ridgelines of approximately 2,000 to 2,500 feet above mean sea level. Most of the slopes of the surrounding hills are covered by oak woodland vegetation. Bald Mountain, elevation 3,342 feet above mean sea level, is the most prominent topographical feature in the Sonora area.
2.
Hydrology. The specific plan area is located in the Woods Creek Watershed and is drained by Woods Creek, Sonora Creek, Sullivan Creek, and Dragoon Gulch. The Woods Creek Watershed encompasses about 18,588 acres (29.0 square miles), and eventually empties into Don Pedro Reservoir. While there are 45 dams in Tuolumne County, none of the inundation area maps shows the City of Sonora within a potential area of inundation.
The specific plan area has an existing stormwater collection system. Stormwater is collected via inlets located around the specific plan area and is then piped and discharged offsite into a culvert located in the SR- 108 Right-of-Way. Pipe sizes range from 12 to 24 inches in diameter. The City of Sonora operates the stormwater drainage facility within the City limits.
3.
Soils. The specific plan area is a developed, urban area. The soils that underlay the specific plan area were graded and engineered in the early 1990s with the development of the existing retail building. The soils were conditioned to support urban development and are considered stable soils and geologic units. As such, the majority of subsurface soils in the specific plan area consist of silty sands with various amounts of fine to coarse gravel, cobbles, and boulders of up to 36 inches in diameter. The native soils predominantly consist of silty sands, underlain by completely weathered to fresh granite rock with some inclusions of fresh diorite rock.
4.
Seismicity. The specific plan area is located east of the Foothills Fault System, which includes the Melones Fault Zone along the eastern edge of the fault system and the Bear Mountain Fault Zone along the western side of the fault system. The Melones Fault Zone is classified as active (i.e., it has demonstrated displacement within the last 100,000 years), and the Bear Mountain Fault Zone is classified as indeterminable active (i.e., definitive evidence has not been established). Four faults are located within Tuolumne County capable of producing an earthquake including the Negro Jack Point, Bowie Flat, Rawhide Flat West, and Rawhide Flat East faults. The Rawhide Flat West and Rawhide Flat East faults are determined to be capable of producing an earthquake with an estimated maximum magnitude of 6.2, which could result in seismic ground shaking. Ground shaking effects are mitigated through enforcement of the 2007 California Building Standards Code. For development within the specific plan area, building plans will be required to demonstrate that the seismic design parameters recommended by the 2008 Geotechnical Engineering Report prepared by Wallace Kuhl & Associates, Inc. have been incorporated into the design and/or building plans.
The specific plan area is not located within an Alquist-Priolo Earthquake Fault Zone and no known surface expression of fault traces is known to cross the area. As noted above, the specific plan area is underlain by dense granular soils and rock. Shallow groundwater is not present under the area and no slopes are located within or adjacent to the specific plan area.
5.
Hazardous Materials The specific plan area is a developed, active commercial area. It appears on two environmental databases listing parcels with known or potentially hazardous conditions. The first database is the Hazardous Waste Information System database which lists sites recorded on hazardous wastes manifests. This listing only indicates that hazardous materials were transported to or from the specific plan area; it does not indicate that contamination occurred. The second database is the Statewide Environmental Evaluation and Planning System database which lists sites with registered underground storage tanks (USTs). The specific plan area did contain a 1,000 gallon waste underground storage oil tank. It was removed in 1999. At that time, no contamination or leaks were reported and the County of Tuolumne stated that no further action was necessary.
Fluorescent lighting fixtures within the existing retail facility may contain polychlorinated biphenyls and mercury. The existing refrigeration units and rooftop HVAC units may also contain chlorofluorocarbons. The existing automobile service area utilizes seven above-ground storage tanks (AST) that store petroleum hydrocarbons. The specific plan area is also located in an area with high radon potential and is in a High Fire Hazard Severity Zone.
6.
Biological Resources. A majority of the specific plan area is covered with impervious surfaces and the remaining area consists of ruderal (weedy) vegetation and disturbed land including trees and landscaping in planters. Dominant species found in unpaved portions of the specific plan area include field bindweed (Convolvulus arvensis), ripgut brome (Bromus diandrus), and Bermuda grass (Cynodon dactylon). The non- native grasses and weeds are generally low-growing but can include some tall species (up to 6 feet). There are no special-status plant or wildlife species with potential to occur in the specific plan area.
Based on the developed and disturbed condition of the specific plan area, only commonly observed wildlife species would be expected to occur in the area (e.g., sparrows, squirrels). Based on the lack of trees, shrubs, and aquatic resources, there is no indication of a wildlife community in the area. The area also does not contain features suitable for use as a wildlife movement corridor (e.g., open drainages). The specific plan area does support immature trees that could potentially provide nesting habitat for small migratory songbirds. No open channels, natural drainage features, wetlands or waters of the United States exist within the specific plan area.
7.
Climate. Temperatures in the specific plan area range from an average monthly high of 94.6 degrees Fahrenheit in July to an average monthly low of 33.5 degrees F in January. Average annual rainfall is 32.13 inches, and average snowfall is 3.3 inches.
D.
Existing Utilities.
1.
Water. The specific plan area will receive water service from the Tuolumne Utilities District (TUD). TUD operates various water systems within its service area. The specific plan area would be served by the Sonora-Jamestown Water System. TUD's water infrastructure consists of 56 miles of water supply canals and ditches, 13 water treatment plants, approximately 202 miles of distribution piping, and eight community water well systems. TUD has three primary sources of water: surface water from the South Fork Stanislaus River (with an annual yield of approximately 100,000 acre-feet), groundwater (with a total potential annual yield of 2,150 acre-feet), and recycled water (providing landowners with water for irrigation of approximately 547 acres of farm and pastureland).
In 2010, the estimated water demand for the TUD service area based on the TUD Urban Water Management Plan is projected at 17,044 acre-feet with the estimated supply at 24,500 acre-feet. By 2035, the projected demand would be 23,344 acre-feet with a supply estimate of 24,500 acre-feet. Based on these projections, the TUD has sufficient water supply for the development of the specific plan area. Water supply to the specific plan area is provided through a two-inch domestic water line and a two-inch irrigation water line.
2.
Wastewater. The specific plan area receives wastewater service from TUD, which owns and operates the regional wastewater system. TUD collects wastewater from approximately 8,900 connections and transmits it through approximately 101 miles of sanitary sewer lines. Wastewater is treated at the Sonora Regional Wastewater Treatment Plant, which has a capacity of 2.6 million gallons per day (mgd). The average dry weather flow is 1.6 mgd. During winter months, input at the wastewater treatment plant may increase to 2.6 mgd, exceeding the facility's capacity to clarify and digest the input. An expansion of the facility's sewage treatment processing system is underway and TUD has adopted a reclamation strategy that is currently being reviewed by the state.
Existing development in the specific plan area is served by a six-inch line that pipes effluent to a lift station located in the rear of the former Mervyn's building. The lift station serves the entire Sonora Crossroads shopping center and conveys flows via a 4-inch force main to an 18-inch main located within Sanguinetti Road.
3.
Water Quality. The existing drainage within the specific plan area is discussed above in Section 17.33.020(C)(2), Hydrology. During construction, all work would be required to meet the National Pollution Discharge Elimination System (NPDES) requirements for stormwater quality. The contractor would also be required to implement Best Management Practices (BMPs) for erosion control. These requirements will be implemented through the preparation and approval of a Storm Water Pollution Prevention Plan (SWPPP). The SWPPP would ensure that project construction would not violate any water quality standards.
During operations, all activities must comply with a City-approved stormwater management plan. Compliance with the stormwater management plan would ensure that operational activities within the specific plan area would not violate any water quality standards.
4.
Solid Waste Disposal. Solid waste collection and recycling services are provided by Cal Sierra Disposal. Solid waste from the City of Sonora is transported to three landfills in San Joaquin and Merced Counties, which collectively have a 150 million cubic yards of remaining capacity.
5.
Natural Gas. No natural gas service is available in the Sonora area.
6.
Electricity. Electricity service to the specific plan area will be provided by Pacific Gas and Electric (PG&E).
7.
Telephone. Telephone service to the specific plan area will be provided by American Telephone & Telegraph (AT&T).
(Adopted by Ord. 796 on 10/28/2010)
Any and all approvals, decisions, reviews or actions required under this section and required for development within the Sonora Commercial Specific Plan area shall be ministerial, final, and not subject to appeal, and shall be processed pursuant to section 17.33.050.
A.
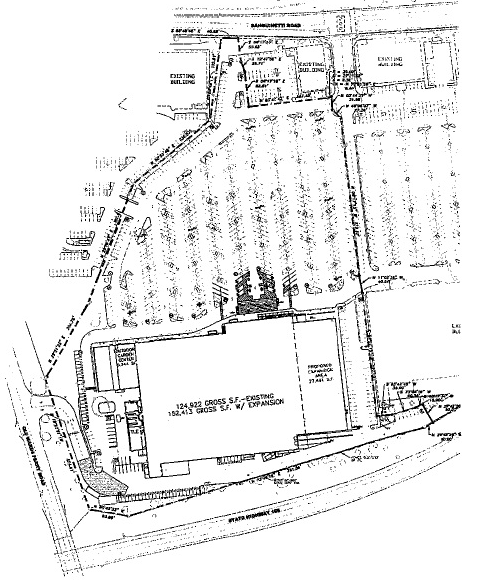
Land Use Concept. The overall land use concept for the Sonora Commercial Specific Plan is to revitalize, update and expand an existing retail facility to take advantage of the site's excellent regional access and visibility. It will dramatically improve the aesthetic and commercial landscape and provide for development of a full-service retail use to complement existing uses in the surrounding area. The land use concept design will incorporate design elements that complement and are compatible with the architectural theme of the existing commercial landscape by creating an attractive and productive blend of retail uses. Access and parking within the specific plan area is intended to be designed with convenient vehicular, non-motorized vehicle and pedestrian access that blends and interconnects with the surrounding commercial area.
Figure 6 illustrates the conceptual site plan for the Sonora Commercial Specific Plan.
1.
Uses Allowed by Right. Table 17.33.030-1 establishes the permitted uses for the Sonora Commercial Specific Plan area. Ancillary and accessory uses, if proposed, will be reviewed concurrently with any application for development submitted. Ancillary and accessory uses that are not specifically listed as permitted may be approved subject to determination of substantial conformance as set forth in Section 17.33.050.
Note: *Twenty-four-hour operations permitted as-of-right. Twenty-four-hour operations may be permitted for other uses if the community development director determines such a use substantially conforms with the provisions of the Sonora Commercial Specific Plan.
B.
Site Development Standards.
1.
Land and Structure Regulations. Table 17.33.030-2 establishes the land and structure regulations for the Sonora Commercial Specific Plan area:
Note: *Architectural projections are exempt from the thirty-five-foot height limit.
2.
General Design Concepts. Within the Sonora Commercial Specific Plan, general design concepts address the nature and function of the use, building, or feature being considered. Architectural design and details are to be integrated throughout the specific plan area and oriented to areas within public view. Design within the Sonora Commercial Specific Plan shall meld function and form, not one to the exclusion of the other, and promote the harmonious appearance of structures in other commercial areas adjacent to the specific plan area, including the Sonora Crossroads shopping center.
To facilitate design integrity between the uses within the Sonora Commercial Specific Plan and other commercial uses surrounding the specific plan area, the following standards shall be adhered to:
a.
Design shall be consistent with the 1992 city council adopted exterior design requirements for the Sonora Crossroads Shopping Center, including the 2009 amendment to the color palette and architectural features to allow "earth tones" into the stucco walls, front access diamonds storefront frames and parapet coping. Figures 6, 7 and 8 included in this specific plan comply with these requirements.
b.
The community development director shall review and approval all final building plans and elevations to ensure substantial conformance with Figures 6, 7 and 8. Substantial conformance shall be determined as set forth in section 17.33.050.
c.
Review and approval by the community development director as set forth above shall include verification that the average mid-point of any architectural feature or wall is approximately thirty-five feet. If any architectural feature or wall exceeds thirty-five feet then it must be flattened or otherwise lowered.
d.
Development within the specific plan area shall comply with the environmental standards set forth in section 17.33.060. Developer shall bear all costs of implementing such environmental standards.
e.
Shipping container storage shall not be allowed in the specific plan area and all shipping containers stored outdoors must be removed on a permanent basis.
f.
No trees shall be removed until the city has approved a final landscape plan as set forth in section 17.33.030(B)(3) below.
g.
All development within the specific plan area shall comply with all applicable building codes and the requirements of the city, county, state and other responsible agencies.
Figures 7 and 8 illustrate the conceptual exterior elevations and conceptual colors and materials for the specific plan area. Development proposed that substantially conforms to Figures 7 and 8 shall be considered to substantially conform to the Sonora Commercial Specific Plan and shall be processed as a ministerial building permit and construction plan review as set forth in section 17.33.050.
3.
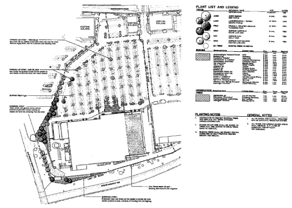
Landscaping. The quality environment envisioned for Sonora Commercial Specific Plan site will be established, in large part, by its landscape treatment. Landscaping is to be designed to highlight positive visual features, to screen negative ones, and to provide a cool, pleasant outdoor environment. Landscaping is also intended to give structure and identity to the overall specific plan area.
Prior to issuance of a grading permit, demolition or ground or vegetation disturbance, whichever occurs first, the developer shall submit a final landscape plan for review and approval by the planning commission, in such form and detail as may be required by the community development director. As set forth in section 17.33.050, this review and approval shall be a non-discretionary, final action that cannot be appealed. The intent of the review is to ensure compliance with the provision of the Sonora Commercial Specific Plan. The approved final landscape plan shall be incorporated into the development proposed.
The final landscape plan shall provide for the following:
a.
All recycling areas are to be effectively screened and contained.
b.
Denser screen along the southern loading dock areas, including additional native ponderosa pine, native oaks and Deodar cedar planted in dense clusters on twelve to fifteen foot centers with an understory of large and medium shrubs to create a denser plant screen along the center's rear facades. Reasonably sized openings may be left in the tree screen to reveal store signage, but no large open views of loading docks. Developer shall apply for an encroachment permit from Caltrans to allow for planting within this area, if necessary. Alternatively, developer shall work cooperatively with the city to enter into a maintenance agreement for landscaping in the Caltrans right-of-way behind the existing retail building. Should Caltrans deny landscaping in this area pursuant to an encroachment (or equivalent) permit, then this requirement shall be eliminated. It is anticipated that landscaping will be accomplished substantially in accordance with landscaping plans already approved pursuant to an existing Caltrans permit (#1091-6CD-1116, Whitney Development Company). It is further anticipated that the costs of watering will be undertaken by the developer as will the costs of installing a separate water meter to maintain landscaping along SR 108 behind the existing retail building (i.e., the developer will be responsible for maintaining landscaping only in that area between SR 108 and the existing retail building). Minor modifications to these requirements may be approved by the community development director, as set forth in section 17.33.050, where such modifications achieve the same goal as the original requirement.
c.
Reserved.
d.
A vine-covered fence is to be constructed at the edge of the paving along the southern limit of the specific plan area to screen ground clutter associated with the loading area. Specifically, the landscape plan shall provide for the planting of vines sufficient to cover the existing chain link fence along the southern portion of the specific plan area. In conjunction with re-surfacing the rear portion of the specific plan area, the developer will plan for the installation and maintenance of vines within the area's boundaries adjacent to the existing fence. Developer shall apply for an encroachment permit from Caltrans to allow for planting within this area, as necessary. Should Caltrans deny landscaping in this area pursuant to an encroachment (or equivalent) permit, then this requirement shall be eliminated.
e.
Automatically controlled underground irrigation shall be installed in all planting areas with a minimum of ½-inch mulch to a depth of two inches or as appropriate in vining and groundcover areas.
f.
The planter separating the Old Wards Ferry Road Specific Plan area entrance drive from the existing store's garden and automotive departments will be solidly planted with coniferous and/or broadleaf evergreen trees to create a dense visual screen to these areas.
g.
Should the planter (or adjacent) landscape area separating the Old Wards Ferry Road Specific Plan area entrance drive from the garden and automotive department require additional terracing and/or retaining walls; retaining wall design and materials shall be submitted in conjunction with the final landscaping plan for review and approval. Retaining walls within the planter shall not exceed four feet in height. Any single wall, excluding the ground level wall in a terraced system, will not exceed eight feet in exposed surface height.
h.
Trees shall be installed as follows: fifteen percent will be twenty-four-inch box and eighty-five percent will be fifteen gallon.
i.
Landscaping shall be in keeping with the character or design of adjacent buildings.
j.
Existing trees shall be preserved wherever possible.
k.
Identification of the type and size of trees to be removed and the proposed landscaping in accordance with the Tree and Landscaping Ordinance. All removed trees shall be replaced at no less than a 1:1 ratio. The city may require certain trees to be replaced at a ratio of greater than 1:1 depending on the species, trunk, diameter, or other factors.
l.
Ornamental trees shall be replaced at the size of tree removed or thirty-six-inch box, whichever is smaller.
m.
If the developer vacates the specific plan area in the future, landscaping associated with the specific plan area shall be maintained in compliance with Sonora Municipal Code Chapter 12.20, Section 12.20.145(A) for as long as the developer remains the property owner. Should ownership change; the new owner will remain subject to the same provisions of the Sonora Municipal Code relative to landscape maintenance.
n.
Developer shall be responsible for maintaining all landscape plants in a healthy and attractive condition for the life of the project for on-site landscaping. All landscaping to be maintained and replaced on a monthly basis, weather permitting, to assure consistent tree size.
Figure 9 illustrates the preliminary planting plan for the specific plan area. Development proposed that substantially conforms to Figure 9 shall be considered to substantially conform to the Sonora Commercial Specific Plan and shall be processed as a ministerial building permit and/or construction plan review as set forth in section 17.33.050.
4.
On-Site Circulation, Parking, and Loading.
a.
On-Site Circulation. The on-site circulation standards within the Sonora Commercial Specific Plan will ensure the efficient and safe passage of vehicles and pedestrians to and from the various commercial uses within the specific plan area.
On-site circulation within the specific plan area shall adhere to the following requirements:
(1)
All ingress and egress routes shall be maintained clear of storage, delivery trucks or other obstructions at all times.
(2)
The circulation system shall include adequate directional signs for entrances, exits, parking areas, loading areas, and other uses.
(3)
On-site driveways shall be permitted to provide common access between the specific plan area and adjacent properties.
(4)
Site lines required for safe automobile movement shall be kept clear. Screens and structures shall not be located where they would block such site lines.
(5)
On-site pedestrian walkways should provide direct, safe, and adequate movement paths between parking areas and building entrances.
(6)
Trucks shall access the specific plan area via the southernmost Old Wards Ferry Road driveway. Once onsite, trucks shall travel along the south property line and ultimately exit via Old Wards Ferry Road.
b.
Parking. Off-street parking configurations within the specific plan area shall adhere to the following requirements:
(1)
One parking stall per two hundred gross square feet of floor area shall be required for uses in the specific plan area. Employee parking is deemed to be included in the general requirement of one parking stall per twohundred square feet of gross floor area. Gross floor area, as used in this specific plan, means the interior floor area, in square feet, of a business which is necessary for the operation of that business. This includes all work areas, hallways, private bathrooms, and storage areas used and necessary for the business to be operated, except for common hallways, private or public bathrooms used by other businesses, and unmanned storage areas not open to the public or not normally open during business hours.
(2)
When, after computing the number of parking spaces required, there appears a fractional requirement of one-half space or more, one additional parking space shall be required. If less than one-half, no additional space is required.
(3)
One percent of the total parking spaces shall be constructed to comply with the California Disabled Access Regulations.
(4)
The required parking shall be provided on the parcel or contiguous parcel where the use is located.
(5)
Parking spaces shall have a minimum size of nine feet by eighteen feet when outdoors and free of obstructions such as columns or walls.
(6)
Up to one-third of all parking stalls may be marked "Small Cars Only" and may be eight feet by sixteen feet in dimension.
(7)
Parking aisles shall have a minimum width of twelve feet when stalls are parallel to the aisle or up to an angle of forty degrees, seventeen feet when stalls are at an angle between forty degrees and seventy degrees, and twenty-three feet when stalls are at an angle between seventy degrees and ninety degrees.
(8)
Parking stalls and aisles shall have a maximum grade of seven percent.
(9)
Each parking stall and aisle shall have a minimum eight-foot vertical clearance.
(10)
Each parking stall shall have vehicular access to the street, without passing over other parking stalls.
(11)
Each parking stall and aisle shall be graded, drained and surfaced, so as to prevent dust, mud or standing water, and shall be identified by pavement markings, to the satisfaction of the city engineer.
(12)
Lighting shall be provided in the parking area pursuant to section 17.33.030(B)(8).
(13)
A minimum four-foot high solid fence, wall or thick hedge shall be permanently maintained between any residential zone and a parking area serving a commercial use, where such an area is contiguous to such a zone.
(14)
The property owner shall provide documentation (contract, letter of agreement, etc.) to the satisfaction of the community development director verifying the manner by which cleaning and sweeping of the parking lot is to occur.
c.
Loading.
(1)
Each loading berth shall have a minimum size of twelve feet by thirty-five feet whether indoors or outdoors.
(2)
Each loading stall and access thereto shall have a minimum fifteen feet vertical clearance.
(3)
Each loading berth shall have vehicular access to the street, without passing over other parking stalls.
(4)
A minimum of one loading berth shall be required for each forty thousand square feet of gross floor area or part thereof within the specific plan area. When, after computing the number of loading spaces required, there appears to be a fractional requirement of one-half space or more, one additional loading space shall be required. If less than one-half, no additional loading space is required.
(5)
Loading areas shall be designed to provide for backing and maneuvering on site and not from or within a public street. Direct loading from a public street shall not be permitted.
(6)
Loading bays shall be sealed with rubber gaskets to reduce noise impacts to adjacent areas.
5.
Outdoor Storage/Sales. The following requirements shall apply to all outdoor storage and sales in the Sonora Commercial Specific Plan area:
a.
Outdoor storage shall be limited to designated pallet storage areas located on the southwest corner of the specific plan area. This provision does not apply to outdoor sales areas, sidewalk sales, and "garden centers." Sales within parking areas are permitted but shall not exceed an area of sixty parking spaces and shall be confined to the area along the western boundary of the specific plan area in the front parking lot.
b.
Ingress and egress for emergency vehicles shall be maintained at all times within the sales and storage area.
c.
Outdoor storage in other locations within the specific plan area shall not be precluded so long as such storage areas do not occupy parking spaces.
d.
The southwest corner of the specific plan area shall be screened to reduce the visibility of outdoor storage areas and mechanical equipment, trash enclosures, recyclable materials and the bale and pallet storage area. Developer shall install visual screening in the form of landscaping, enclosures or other appropriate screening methods in this area.
Any new outdoor storage areas not in conformance with the provisions above shall require submittal of an application to the community development director for approval prior to use.
6.
Signage. Signage and graphics will be an important element within the Sonora Commercial Specific Plan area. The intent of the sign program is to provide for maximum sign exposure for uses within the specific plan area in a manner that will complement the overall image of the area while preserving and enhancing the aesthetic, vehicle and pedestrian traffic safety and convenience, and environmental values of the surrounding area.
Except as otherwise set forth herein, all signs, including, but not limited to, A-type and moveable freestanding signs, canopy signs, construction project signs, on-site directional signs, projecting building signs, wall signs, window signs and temporary signs, shall be permitted in the specific plan.
The community development director shall confirm that any proposed signs substantially conform with the requirements of the specific plan. As set forth in section 17.33.050, any review for substantial conformance shall be a non-discretionary, final action that cannot be appealed. The intent of the review is to ensure compliance with the provision of the Sonora Commercial Specific Plan. Changes in existing sign copy and relocation of existing signs that do not change the existing sign area shall be deemed to substantially conform with the sign requirements of the specific plan and shall not require any additional approvals.
The following sets forth the requirements for signs in the Sonora Commercial Specific Plan area:
a.
Definitions. The definitions stated in Sonora Municipal Code Section 15.28.020 are incorporated herein.
b.
General Sign Requirements.
(1)
A combination of not more than two types of signs (freestanding, wall or projection) for each place of business or occupancy shall be permitted.
(2)
Roof signs, wind signs, animated signs, signs that emit sound or flashing lights shall be prohibited.
(3)
No sign shall be erected in such a manner that it will or may reasonably be expected to interfere with, obstruct, confuse or mislead traffic, except such signs placed by a public agency for control of traffic by vehicles or pedestrians.
(4)
No sign shall be placed in any manner, or be maintained on any fence.
(5)
No signs shall be affixed to trees or shrubs.
(6)
Signs and sign structures shall be maintained at all times in a state of good repair.
(7)
No sign shall be sagging, leaning, fallen, decayed, deteriorated, or exhibit other dilapidated or unsafe conditions, as determined by the building official.
(8)
All signs and sign structures shall be constructed, installed or erected with more than a six-foot horizontal and a twelve-foot vertical clearance to energized electrical power lines.
c.
Freestanding Signs.
(1)
Maximum area for freestanding signs: Thirty-two square feet.
(2)
Maximum height for freestanding signs: Thirty-five feet.
(3)
The structural support for freestanding signs shall be wholly on the owner's property.
(4)
Freestanding signs over five feet in height may project over public property, or public vehicular or pedestrian easements or ways, a distance determined by the clearance of the bottoms thereof above the level of the sidewalk or grade of the public property or easement or way immediately below, as follows:
(A)
A clearance of less than eight feet is not permitted;
(B)
For a clearance of eight feet, the maximum projection is one foot;
(C)
For a clearance of eight feet to fourteen feet, the maximum project is one foot plus six inches for each foot of clearance in excess of eight feet;
(D)
For a clearance over fourteen feet, the maximum projection is four feet;
(E)
No sign shall project within two feet of the curb line.
(5)
Every freestanding sign shall be constructed wholly of metal, wood, fire-resistant plastic or other substantially similar material.
d.
Wall Signs.
(1)
Maximum area for wall signs: three percent of the total frontage wall area.
(2)
No part of any wall sign shall extend above the top level of the wall upon or in front of which it is situated.
(3)
Any wall sign that is suspended or projects over any public walkway or wall area shall have an overhead clearance of at least eight feet.
(4)
No wall sign, including any light box or other structural part, shall project more than twelve inches from the building face.
(5)
There may be any number of wall signs for each building frontage, but in no case shall the total wall sign area for each frontage exceed area limitations.
e.
Projecting Signs.
(1)
Maximum area for projecting building signs: Thirty square feet.
(2)
No projecting building sign shall extend above the top level of the wall upon or in front of which it is situated. In the case of buildings having sloping roofs, no such sign shall extend above the roof ridge. Any such sign which projects over public property shall have a clearance of eight feet above the ground, and a fourteen-foot clearance above vehicle-ways.
(3)
Projecting signs may project over public property, or public vehicular or pedestrian easements or ways, a distance determined by the clearance of the bottoms thereof above the level of the sidewalk or grade immediately below, as follows:
(A)
A clearance of less than eight feet is not permitted;
(B)
For a clearance of eight feet, the maximum projection is one foot;
(C)
For a clearance of eight feet to fourteen feet, the maximum projection is one foot plus six inches for each foot of clearance in excess of eight feet;
(D)
For a clearance over fourteen feet, the maximum projection is four feet;
(E)
No sign shall project within two feet of the curb line.
f.
Special Purpose Signs.
(1)
Maximum area for signs erected in conjunction with construction projects (i.e., construction signs): Six square feet.
(2)
Maximum height for freestanding construction signs: Five feet.
(3)
All construction signs shall be removed before a final release on the construction is given by the building official.
(4)
Maximum area for directional signs used for the purpose of facilitating or controlling the efficient or safe movement of pedestrians or vehicles on or onto private property (i.e., directional signs): Six square feet.
(5)
Directional signs shall be located on the property to which they pertain.
(6)
A maximum of two on-site directional signs per drive approach shall be allowed.
g.
Abandoned Signs. Abandoned signs shall not be permitted, maintained or permitted to be maintained within the specific plan area. Any such sign shall be abated by the owner, the building official, or any other person in a lawful manner.
The following types of signs are presumed to have been abandoned:
(1)
Signs located on property which has become vacant and unoccupied for a period of six months or more;
(2)
Signs erected for an occupant or business unrelated to the present occupant or business; and
(3)
Signs pertaining to a time event, or purpose that has passed or no longer pertains.
Deviations from the approved sign program set forth above that do not substantially conform to the approved program, shall require the approval of the community development director. If any provision of the sign program conflicts with regulations or requirements of the City of Sonora Municipal Code, the provisions of this document shall take precedence.
7.
Noise.
a.
Construction Noise. Hours of exterior construction shall be limited to between the hours of 7:00 a.m. and 7:00 p.m. Monday through Friday; 8:00 a.m. and 5:00 p.m. Saturday; and 10:00 a.m. and 3:00 p.m. Sunday and federal holidays.
All construction equipment shall be acoustically muffled to reduce noise in accordance with Caltrans Standard Specifications.
b.
Operational Noise. Development in the specific plan area shall comply with the noise standards contained in the noise element of the Sonora General Plan.
8.
Lighting. The following section addresses illumination of on-site areas for the purposes of safety, security, and nighttime ambience, including lighting for parking areas, pedestrian walkways, graphics and signage, architectural and landscape features, shipping and loading areas, and any additional exterior areas.
Prior to issuance of a grading permit, demolition or ground or vegetation disturbance; whichever occurs first, the developer shall prepare and submit a final lighting plan. The final lighting plan shall be reviewed and approved by the planning commission to ensure compliance with the provisions of the Sonora Commercial Specific Plan. As set forth in section 17.33.050, this review and approval shall be a non-discretionary, final action that cannot be appealed. The intent of the review is to ensure compliance with the provisions of the Sonora Commercial Specific Plan. The approved lighting plan shall be incorporated into the development proposed.
The lighting plan shall demonstrate that all exterior lighting fixtures associated with development in the specific plan area (building-mounted and freestanding) are shielded, recessed, or directed downward to prevent unwanted illumination of neighboring properties.
The final lighting plan shall provide for, but is not limited to, the following:
a.
Light fixtures shall be shielded to keep light focused on the specific plan area.
b.
Outdoor lighting of pedestrian areas shall be limited to ground level lighting or decorative lamps on fourteen-foot maximum pole heights.
c.
Outdoor lighting of parking areas shall be limited to ground level lighting and overhead luminaries not to exceed existing pole heights.
d.
Pole-mounted lights shall be cut-off directing illumination downward.
e.
Building lighting shall be limited to indirect or cut-off sources for security after hours (as applicable to 24/7 operations),
f.
Light sources shall be metal halide and limited to an average of 3.3 foot-candles maximum average intensity. New parking lot lighting shall comply with the California Energy Code and Title 24. Non-Residential Energy Compliance Forms shall accompany the building permit application.
9.
Fire Protection. Prior to issuance of a grading permit, demolition or ground or vegetation disturbance; whichever occurs first, the developer shall submit to the Sonora Fire Department for review and approval a complete set of building plans, wet stamped by an architect or licensed engineer and a complete set of plans for an automatic fire sprinkler system indicating calculated fire flow for the system, signed by a licensed automatic fire sprinkler contractor.
Note that any warehouse storage proposed will need to install rack sprinklers. The existing retail building does not have rack sprinklers but any new rack storage will require rack sprinklers. The fire flow for the building shall be determined by the size of the building and type of construction.
Standpipes may be required due to building size, fire flow requirements, and distance from building egress. A fire sprinkler system with one hundred or more sprinkler heads shall be monitored by a UL approved central alarm station which supervises the system twenty-four hours per day. The installation of fire hydrants in the specific plan area will be required per the current edition of the California Building Code. Fire hydrant locations and numbers will be determined by the fire department upon receipt of a plot plan drawn to scale, with locations and numbers established in accordance with the current edition of the California Building Code.
The fire department connection (FDC) shall be installed at the rear of the building, with final location to be determined by the fire department. A single FDC is preferred, if feasible. If the development requires a second FDC, double backflow protector, riser (i.e., complete separate system); then the developer shall apply for and secure approval from TUD for the second connection into the domestic water system.
10.
Business Licenses. Prior to the issuance of a grading permit, demolition or ground or vegetation disturbance; whichever occurs first, the developer will comply with City of Sonora provisions for obtaining business licenses for the construction contractor and subcontractors.
Prior to the issuance of a final certificate of occupancy, the developer shall comply with City of Sonora provisions for obtaining business licenses (including amendments to existing licenses) for the building occupant.
(Adopted by Ord. 796 on 10/28/2010; Ord. No. 914, §§ 1, 2, 10-20-2025)
Any and all approvals, decisions, reviews or actions required under this section and required for development within the Sonora Commercial Specific Plan area shall be ministerial, final and not subject to appeal, and shall be processed pursuant to Section 17.33.050.
A.
Infrastructure.
1.
General Provisions (TUD, Concrete, Cool Roof, Burning).
a.
The specific plan area will be served with public water and public sewer provided by the TUD. Prior to issuance of building permits, the developer shall:
(1)
Provide final verification of all required utilities to the community development department.
(2)
Provide proof to the building department that "change of use" fee payments have been paid to or waived by the Tuolumne Utilities District.
(3)
Provide verification that all new utilities shall be placed underground.
(4)
Submit the proposed concrete design mix to the city building department to confirm that the proposed concrete will include 15-20% fly ash, or alternative as approved by the building official.
(5)
Provide the building department with documentation that the proposed "white roof" is a certified "Cool Roof," as required by the California Energy Commission.
b.
In addition, any development in the specific plan area shall comply with the following:
(1)
Prior to burning of vegetation during land development clearing, the developer shall notify the Tuolumne County Air Pollution Control District of the intent to burn and a finding shall be made by the District that such burning is warranted as specified in district rule 310.2(A)-Land Development Clearing. Such burning shall also be coordinated with the city fire department requirements.
(2)
Any aggregate used for surfacing material that contains greater than 0.25% asbestos shall be incorporated into or completely covered by asphalt concrete, Portland cement concrete, or similarly cemented material.
2.
Water Facilities. The specific plan area will receive water service from the TUD through an existing 2-inch domestic water line and a 2-inch irrigation water line. TUD's Urban Water Management Plan projects annual water surpluses ranging from 5,526 acre-feet in 2010 to 256 acre- feet in 2035. The specific plan area's total anticipated water demands, which area accounted for in the Urban Water Management Plan, are estimated to be 9,174 gallons per day (gpd) or 182,500 gallons (0.56 acre-feet) annually.
Prior to the issuance of a grading permit, demolition or ground or vegetation disturbance, whichever occurs first, the developer shall submit an underground utilities plan to the city engineer for approval by respective agencies (e.g., Tuolumne Utilities District, Sonora Fire Department). The developer shall, within preparation of the improvement plans for the water system, provide water mains, hydrants, and fire flows as required by the City of Sonora Fire Department. Fire hydrant locations to be shown on the plan as determined by the fire chief.
3.
Wastewater Facilities. The Central Valley Regional Water Quality Control Board (CVRWQCB) enforces wastewater treatment and discharge requirements for the specific plan area. The specific plan area would convey wastewater via municipal sewage infrastructure maintained by the TUD to the Sonora Regional Wastewater Treatment Plan (SRWTP). The specific plan area is estimated to generate 5,764 gallons per day of effluent, which is well within the existing available capacity of the SRWTP.
4.
Storm Drains. The City of Sonora operates stormwater drainage facilities within the city limits. The specific plan area has an existing stormwater collection system that will continue to serve the area. Stormwater is collected via inlets where it is then discharged offsite into a culvert located in the SR-108 Right-of-Way. Pipe sizes range from 12 to 24 inches in diameter. Implementation of the specific plan will not require new or expanded offsite storm drainage facilities. However, prior to the issuance of a grading permit, demolition or ground or vegetation disturbance; whichever occurs first, the city engineer shall approve an engineered drainage plan that will include on and off-site drainage measures necessary to accommodate the increased flows created by development within the specific plan area.
5.
Solid Waste Disposal. Cal Sierra Disposal provides solid waste and recycling services to the City of Sonora, including the specific plan area. During construction, it is estimated that the specific plan area would generate 55 tons of solid waste. During operation, it is estimated that the specific plan area would generate approximately 68 tons of solid waste annually.
6.
Natural Gas. No natural gas service is available in the Sonora area.
7.
Police Protection. The Sonora Police Department will provide police protection to the specific plan area.
8.
Fire. The Sonora Fire Department will provide fire protection and emergency medical services to the specific plan area.
9.
Electricity and Telephone. The specific plan area is located within PG&E's service territory. PG&E would provide electrical services to the specific plan area. Telephone service to the specific plan area will be provided by AT&T. If a stationary emergency standby diesel fueled engine is required for emergency generation purposes (e.g., for refrigeration units), development shall comply with Section 93115, Title 17-California Code of Regulations, Airborne Toxic Control Measure for Stationary Compression Ignition Engineers.
10.
Schools. Prior to the issuance of building permits, the developer shall pay school impact fees. Impact fees are currently 0.47 per square foot.
B.
Project Access. Access to the specific plan area allows for safe and efficient travel to and from the area. Administrative provisions and signage of the specific plan will facilitate direction and access throughout the area. Public transportation will be permitted in the specific plan area.
Vehicular access to the specific plan area will be provided by six driveways, including two on Old Wards Ferry Road and four on Sanguinetti Road. A full signalized access point is present on Sanguinetti Road, which also serves the other uses in the Sonora Crossroads. A full unsignalized access point exists on Old Wards Ferry Road and provides access to the existing tire & lube express and loading dock. Additional vehicular access to the specific plan area is available through the Crossroads Plaza, which has access to Sanguinetti Road and Old Wards Ferry Road, and the Sonora Crossroads parking area, which has access to other points on Sanguinetti Road. The southern Old Wards Ferry Road access point and the eastern Sanguinetti Road access point provide truck access to the existing retail store within the specific plan area.
Adequate pedestrian access will also be provided. Prior to the issuance of a grading permit, demolition or ground or vegetation disturbance, whichever occurs first, the developer shall submit a sidewalk plan to the city engineer for review and approval. The sidewalk plan shall provide for the construction of a sidewalk along the eastern side of any expansion to the existing retail store. This sidewalk shall meet the accessibility requirements for the Americans with Disabilities Act and be constructed in conformance with any approved plans prior to the issuance of a final certificate of occupancy. All ingress and egress routes shall be maintained clear of storage, delivery trucks or other obstructions at all times.
C.
Grading. Given the relatively level topography within the specific plan area, development will result in modest changes to topography and ground surface features to primarily address drainage flow.
However, prior to the issuance of a grading permit, demolition or ground or vegetation disturbance, whichever occurs first, the developer shall submit to the city engineer for review and approval the following:
1.
A Comprehensive Engineered Grading Plan showing the tops and toes of all slopes, grade and width of access roads and parking areas, etc. To minimize the amount of grading and clearing of the property, the plan shall include provisions that grading and clearing be limited to the developed area (existing building pad, parking area, landscape, ingress/egress) as identified in Figure 6.
2.
An Erosion and Sediment Control Plan, related to grading or other earthwork to be performed in the specific plan area between October 1 and May 1 of any given year that construction takes place in the specific plan area. The plan shall identify potential erosion problems related to the development project, and measures to be employed to control such concerns. As a site in excess of one acre, the State of California requires that a Storm Water Prevention Plan (SWPPP) be incorporated as part of this plan.
D.
Construction. Throughout project construction under the Sonora Commercial Specific Plan, developer shall be required to comply with the following provisions:
1.
The developer shall be responsible for dust abatement during earthwork and construction operations. A watering truck(s) or other watering device(s) shall be on the project site on all days when natural precipitation does not provide adequate ground moisture for complete dust control. Said watering device(s) shall be used to spray water at the site at the end of each day and at other intervals, as the need dictates, to control dust.
2.
All construction equipment is to be properly maintained in order to reduce exhaust emissions.
3.
Fugitive emissions from construction or site activities shall be controlled at all times using reasonably available control technology. Vehicle speeds of construction equipment shall be limited to 10 miles per hour.
4.
The developer shall ensure that all construction or site activities do not create a nuisance as defined in Air Pollution Control District Rule 205 at any point beyond the proposed project's property lines.
5.
All construction equipment to be acoustically muffled to reduce noise, in accordance with Caltrans Standard Specifications.
6.
Construction within the specific plan area shall comply with Section 17.33.030(7) of this specific plan regarding hours of exterior construction.
7.
Construction shall comply with final building design plans and elevations as approved by the community development director through the procedures set forth in the Sonora Commercial Specific Plan.
E.
Reserved.
F.
Fiscal Implementation. Implementation of the specific plan including, without limitation, construction of all infrastructure and private facilities contemplated in the specific plan, will be financed as follows:
1.
All infrastructure necessary to implement the specific plan will be privately funded (by way of debt and/or equity financing), except to the extent that the cost of components of the infrastructure is:
a.
funded by development impact fees, fair share contributions and other payments to public agencies; and/or
b.
reimbursed from any public source.
2.
All private improvements necessary to implement the specific plan will be privately financed (by way of debt and/or equity financing).
(Adopted by Ord. 796 on 10/28/2010)
A.
Permit Processing. Development within the specific plan area which substantially conforms to the provisions of the Sonora Commercial Specific Plan and the conceptual site plan, elevations, colors and materials, and landscaping as depicted in Figures 6 through 9, shall be processed as a ministerial building permit and construction plan review. Any approval, decision, review or action in this respect shall be ministerial, final and not subject to appeal.
For the purposes of development anticipated under the Sonora Commercial Specific Plan, ministerial building permit and construction plan review includes any subsequent approvals, decisions, review or actions required by city agencies, entities or individuals (i.e., the Sonora Fire Department, the city engineer, the city building department). The purpose of these approvals, decisions, review or actions is to ensure compliance with the provisions of the Sonora Commercial Specific Plan and all applicable building codes and requirements of the city, county, state and other responsible agencies. Ministerial building permit and construction plan review shall be non-discretionary, final actions that cannot be appealed.
Except as set forth above, no additional approvals or permits shall be required for development or operation within the specific plan area. Any building permit or construction plan review can be submitted to the community development director for evaluation and finding of substantial conformance as described below. This includes modifications to the Sonora Commercial Specific Plan as well as modifications to the conceptual site plan, elevations, colors and materials, and landscaping as depicted in Figures 6 through 9.
B.
Existing Uses. Existing uses or structures are not subject to the provisions of the Sonora Commercial Specific Plan provided a building permit has been obtained and is still valid at the time of the effective date of the provisions codified in this title.
C.
Substantial Conformance.
1.
Purpose of Substantial Conformance. The purpose of substantial conformance is to provide a mechanism for implementing the specific plan. During review of construction plans and building permit applications, the community development director or designee will have the limited ability to interpret the specific plan and determine that the proposed development is in substantial conformance with the Sonora Commercial Specific Plan. Substantial conformance may include, but is not limited to, inclusion of land uses not listed in Section 17.33.030 of the specific plan; modifications that might be necessary to comply with applicable infrastructure, public services and facilities requirements, and landscape palette; and other issues. Substantial conformance shall not include modifications in the basic design of the project; significant changes to the height or bulk of the approved uses; or increases in the density or intensity of the approved uses unless specifically permitted by the provisions of this specific plan.
The use of substantial conformance is intended to ensure orderly development, quality aesthetic design, and safe and harmonious placement of uses within the specific plan area. Determinations of substantial conformance (unless specifically noted otherwise) shall be made by the community development director or designee administratively, without the need for a public hearing. In making a determination of substantial conformance, the community development director or designee shall first make all the required findings set forth in this section.
2.
Guidelines for Determination of Substantial Conformance. The following guidelines define the provisions of the specific plan subject to determinations of substantial conformance, and the limits placed on the degree of variance from the provisions of the specific plan that can occur through the substantial conformance procedure.
a.
Permitted Land Uses. Land uses not listed as permitted in section 17.33.030 of this specific plan may be permitted, subject to a determination of substantial conformance, provided that:
(1)
The proposed use is compatible with the uses permitted described in section 17.33.030 of the specific plan; and
(2)
The proposed use is similar to and will not cause environmental impacts substantially greater than the other permitted uses set forth within section 17.33.030 of this specific plan.
b.
Infrastructure. Any modifications to the alignment of access roads; parking lot configurations, or adjustments to individual infrastructure facilities plans such as drainage, sewer, water, and utilities shall be subject to substantial conformance review and approval by the community development director or designee. Prior to a determination of substantial conformance, the community development director or designee shall make the finding that the proposed modification will not result in any environmental impacts substantially greater than those which would occur in the absence of the substantial conformance determination.
c.
Environmental Mitigation Standards. The community development director or designee may approve minor variations from the environmental standards set forth in section 17.33.060 of this specific plan, subject to a determination of substantial conformance. In making such a determination, the community development director or designee shall first find that the proposed variation provides substantially equivalent environmental protection as the originally approved standard.
d.
Other Specific Plan Provisions. Provisions of the specific plan including, but not limited to, architectural details; landscape palette; building size, height, bulk, and orientation; parking lot layout; and other plan details may be modified utilizing substantial conformance provisions. In making such a determination, the community development director or designee shall be required to find that the revisions requested under substantial conformance are consistent with the provisions of the Sonora General Plan, and will not create impacts substantially greater than those that would have resulted from the original approval of the specific plan.
A maximum of ten percent modification to permitted lot coverage, setbacks, floor area (other than the maximum allowable with the project site), and fence and wall heights may be permitted subject to a determination of substantial conformance by the community development director or designee. In making such a determination, the community development director or designee shall be required to find that the revisions requested under substantial conformance are consistent with the provisions of the Sonora General Plan, and will not create impacts substantially greater than those that would have resulted from the original approval of the specific plan.
The required parking spaces may be reduced by the community development director or designee subject to a determination of substantial conformance following preparation of a parking study that demonstrates the proposed reduction in parking spaces is justified based on the mix of uses within the specific plan area and the use of shared parking between those uses.
A comprehensive sign program may be submitted to the community development director for a finding that it substantially conforms with the signage requirements of the Sonora Commercial Specific Plan. Upon approval by the community development director as set forth above, any subsequent sign permit application that substantially complies with the comprehensive sign program shall be processed as a ministerial building permit and/or construction plan review. Any modifications to the sign program may be effectuated through a finding of substantial conformance.
D.
Substantial Conformance Procedure.
1.
Application and Filing Fee. Applications for the determination of substantial conformance shall be made on forms provided by the community development director or designee and shall be accompanied by a filing fee, equivalent to the fee for a site plan review application. Applications shall be made by the owner of the property for which the approval is sought, or an authorized agent.
2.
Hearing. No public hearing shall be required for a determination of substantial conformance.
3.
Action by Reviewing Authority. The reviewing authority for a determination of substantial conformance shall be the community development director or designee. The reviewing authority shall take action by providing written notice to the applicant approving, conditionally approving, or denying the determination of substantial conformance. The action of the community development director or designee shall be final with no appeal.
4.
Findings. The community development director or designee must make a determination of substantial conformance if all of the following findings, in addition to those identified above, can be made:
a.
The physical characteristics of the site have been adequately addressed, and proposed building sites are of adequate size and shape to accommodate proposed uses and all other features of development.
b.
There is supporting infrastructure, existing or available, consistent with the requirements of the Sonora Commercial Specific Plan, to accommodate the development without significantly lowering service levels.
c.
The development resulting from the determination of substantial conformance will not have a substantial adverse effect on surrounding property or the permitted use thereof, and will be compatible with the existing and planned land uses, as well as the character of the surrounding area.
d.
The proposed improvements related to the development resulting from the determination of substantial conformance adequately address all natural and man-made hazards associated with the proposed development and the project site.
E.
Specific Plan Amendments.
1.
Purpose. Amendments to the Sonora Commercial Specific Plan shall be required for revisions that are beyond the scope of substantial conformance determinations. Specific plan amendments are governed by Government Code Section 65433 and the Sonora Municipal Code Chapter 17.68.
2.
Process.
a.
The specific plan may be amended or repealed only by a majority of the voters voting in an election thereon.
b.
Notwithstanding subsection (a), upon application of the fee title holder of the Sonora Commercial Specific Plan area, the city council may amend the specific plan to further the purposes of this specific plan, but in no case can such amendment reduce or eliminate the parties' obligation to fund, construct, or cause to be funded or constructed, the public benefits or mitigation measures required.
(Adopted by Ord. 796 on 10/28/2010; Ord. No. 914, § 3, 10-20-2025)
The specific plan includes environmental standards to ensure that development proceeds with appropriate environmental sensitivity. Environmental studies related to health risks, air quality, biological resources, geology and soils, hydrology and water quality, noise, public services and utilities, traffic, urban decay, and cultural resources were conducted for an expansion of the existing retail facility in the specific plan area. Environmental standards were developed from these environmental studies along with information from the City of Sonora General Plan.
All environmental standards shall be implemented in accordance with the specific plan's environmental standards and implementation process as outlined in Table 17.33.060-1. The developer of the specific plan area shall bear all costs of implementing the environmental standards.
(Adopted by Ord. 796 on 10/28/2010)
Figures 1 - 9
LEGAL DESCRIPTION OF SPECIFIC PLAN AREA Figure 1
Existing General Plan Designations Figure 3
Exising Zoning Designations Figure 4
Surrounding Land Uses Figure 5
Conceptual Exterior Elevations Figure 7
Conceptual Colors and Materials Figure 8
Preliminary Planting Plan Figure 9
(Adopted by Ord. 796 on 10/28/2010)
Commercial Specific Plan Area
A.
Specific Plan Area. The Sonora Commercial Specific Plan Area is an approximately 12.91 acre site located in the City of Sonora in Tuolumne County, California on the southeast corner of Old Wards Ferry Road and Sanguinetti Road (Figures 1 and 2). Regional access to the specific plan area is provided from State Routes (SR) 108 and 49. The specific plan area is bounded by Sanguinetti Road, the Crossroads Plaza, and freestanding stores associated with the Sonora Crossroads to the north; SR-108 and undeveloped land to the south; stores and parking areas in the Sonora Crossroads to the east; and Old Wards Ferry Road, the Crossroads Plaza and undeveloped land to the west. The undeveloped land to the south of the specific plan area is located in unincorporated Tuolumne County, is zoned exclusive agricultural, 37-acre minimum (AE37)/open space (O-1) and is entitled to be developed as a law and justice center. The undeveloped land to the west of the specific plan area is within the city limits, is zoned general commercial (GC) and is entitled to be developed as a Lowe's Home Improvement Warehouse.
B.
Purpose of the Specific Plan. A specific plan is a combination policy statement and implementation tool that can be used to address the unique needs of a particular area of a city or county. As a result, emphasis is on concrete standards and development criteria for use in the submission and review of subsequent development plans and permits. The California Government Code permits the use of specific plans to regulate site development, including permitted uses such as density, building size, and placement. Specific plans also govern the landscaping and roadways, as well as the provision of infrastructure and utilities. Since the development guidelines established in a specific plan focus on the unique needs of a specific area, specific plans allow for greater flexibility than is possible with conventional zoning.
The purpose of the Sonora Commercial Specific Plan is to assist in the development of the site in a manner that will benefit local shoppers, the general public, and the City of Sonora. The specific plan accomplishes these purposes by providing for the efficient use of land, ensuring compatibility between existing and proposed land uses, and establishing environmental and development standards and procedures to be met in development of the specific plan area. The customized development regulations contained in the specific plan address the unique characteristics of the site and surrounding properties, as well as the needs of the commercial land uses proposed for the site. These efforts area intended to foster greater economic development and design opportunities than could be achieved through the use of conventional zoning and development standards.
As used herein, the term "developer" shall mean the current fee title holder of the Sonora Commercial Specific Plan area.
C.
Project Objectives. The objectives of the Sonora Commercial Specific Plan are as follows:
1.
Promote economic growth and development that is consistent with the policies of the City of Sonora General Plan.
2.
Provide development that maximizes the specific plan area's use potential in a manner consistent with the City of Sonora General Plan.
3.
Generate sales tax and property tax revenues to accrue to the various agencies within the specific plan area.
4.
Solidify Sonora's position as the regional shopping destination for Tuolumne and Calaveras Counties.
5.
Provide regional commercial retail activities that would complement existing local retail activities.
6.
Create additional employment opportunities for local area residents.
7.
Expand and upgrade an existing retail facility to provide a modern and energy efficient facility to serve local residents and visitors with essential goods and services and daytime and nighttime shopping opportunities in a safe and secure environment.
8.
Minimize travel lengths and utilize existing infrastructure to the maximum extent possible by expanding and revitalizing an existing retail store located within a larger regional retail node.
D.
Authority. The Sonora Commercial Specific Plan has been prepared in accordance with Government Code Sections 65450 et seq. and 66450 et seq. and will constitute the zoning for the specific plan area. Land use standards and regulations contained within this document shall govern future development within the boundaries of this specific plan.
The Sonora Commercial Specific Plan provides a framework for development of the specific plan area. The specific plan provides guidance for the review of specific development proposals and is the city's reference document for determining permitted uses, intensity of use, and development standards and requirements. The specific plan defines objectives, as well as regulations and requirements for development of the Sonora Commercial Specific Plan area.
E.
General Requirements.
1.
General Plan Consistency. Implementation of the Sonora Commercial Specific Plan is intended to carry out the goals and policies contained in the City of Sonora General Plan, as amended, in an orderly and attractive fashion. Development within the Sonora Commercial specific plan area shall, therefore, be consistent with the provisions of the City of Sonora General Plan.
The Sonora Commercial specific plan implements the general plan by:
a.
Expanding shopping opportunities within a well-established retail node in the City of Sonora in an area that supports urban development and is currently served by urban infrastructure and services.
b.
Promoting a functional development pattern and land use compatibility by providing additional retail opportunities that would be consistent with the land use designations of the specific plan area and surrounding commercial areas.
c.
Creating a commercial area that is designed to protect the public, existing and planned land uses, and the environment from natural and development hazards.
d.
Enhancing the quality of life by offering expanded retail opportunities, creating new jobs and increasing the tax base while incorporating measures to mitigate impacts on the environment.
e.
Providing retail shopping opportunities outside a strip commercial development and within a planned, group concentration to promote integrated, rather than scattered, visitor- serving commercial developments.
f.
Minimizing the visual impact of parking areas from public transportation routes in the specific plan area, including Sanguinetti Road and Wards Ferry Road.
g.
Contributing to an integrated transportation system and upgraded street and highway network that will provide for the safe, efficient, and economic movement of goods and people to meet current and projected community needs.
h.
Establishing and encouraging an integrated system of bicycle, pedestrian and other non-motorized transportation routes in a commercial area.
i.
Conserving the City's natural, scenic and cultural resources along SR-108, a potential scenic gateway corridor.
j.
Conserving energy resources in a manner which maintains or enhances air quality, water quality, scenic value and other natural resources.
k.
Reducing the consumption of energy, products and resources through increased recycling, reuse and alternative use of products.
l.
Conserving the quality and quantity of water resources in the city and county.
m.
Providing securing personnel and surveillance systems within the specific plan area to reduce the likelihood of criminal activity.
n.
Controlling development so as to promote the maintenance of adequate city-provided police, fire, administrative and public works services and infrastructure.
o.
Implementing construction and operational air quality control measures.
p.
Enhancing the city's economic vitality while conserving the city's social, cultural, environmental and aesthetic resources.
q.
Encouraging development that complements, blends in with and is aesthetically compatible with its surroundings and existing landscape and streetscape.
r.
Avoiding degeneration of the city's commercial districts resulting from vacant large, non-historic retail facilities.
2.
Redevelopment Plan Consistency. Implementation of the Sonora Commercial Specific Plan is intended to carry out the goals and policies contained in the City of Sonora Redevelopment Plan and does not modify or amend the Sonora Redevelopment Plan. Development within the Sonora Commercial Specific Plan area shall, therefore, be consistent with the City of Sonora Redevelopment Plan.
The Sonora Commercial Specific Plan implements the redevelopment plan by contributing to:
a.
The expansion and diversification of the community's economic and employment base, through facilitation of year-round employment opportunities.
b.
The strengthening of the general retail and service commercial sectors of the local economy through diversification and enhancement of population-generated and income-generated retail demand.
c.
The recapture of general retail sales leakage from Sonora to other, larger trade centers.
d.
The increase of capture potential from commercial trade originating through traffic on SR-49 and SR-108.
e.
The improvement to infrastructure supporting the specific plan area and the removal of existing impediments to the economic development of the community.
3.
Relationship between specific plan Development Standards Criteria and the City of Sonora Municipal Code. Development regulations and requirements contained in this document will supplement or replace those of the City of Sonora Municipal Code as they might otherwise apply to lands within the Sonora Commercial Specific Plan area. Any regulations or requirements not specifically covered herein shall be subject to the regulations and requirements of the City of Sonora Municipal Code, design guidelines and engineering standards and other applicable regulations, in addition to all applicable local, state and federal ordinances, laws or regulations.
If any provision of this document conflicts with the regulations or requirements of the City of Sonora Municipal Code, the provisions of this document shall take precedence. The process for approving development under the Sonora Commercial specific plan shall be set forth in Section 17.33.050.
4.
Conformance with Uniform Building and Fire Codes. All construction within the Sonora Commercial Specific Plan shall be in compliance with Title 15 "Buildings and Construction" of the Sonora Municipal Code.
5.
Provision of Infrastructure. Unless otherwise specifically approved as part of this specific plan, all off-site improvements under the control of the city shall be subject to the City of Sonora regulations and requirements in effect at the time improvement plans are submitted. Other improvements not under the control of the city (e.g., electricity, natural gas, telephone) shall be subject to the regulations and requirements of the responsible agency.
Specific requirements for infrastructure are set forth in Table 17.33.060-1. To ensure the cost-effective availability of current and adequate infrastructure and services during the development of the specific plan area, infrastructure plans may be modified upon approval of the City of Sonora Public Works Supervisor, which pursuant to Section 17.33.050 shall be ministerial, final and not subject to appeal and without the need to amend this specific plan.
6.
Severability. If any term, provision, condition, requirement, or portion thereof of this specific plan is for any reason held invalid, unenforceable, or unconstitutional, the remainder of this specific plan or the application of such term, provision, condition, requirement, or portion thereof to circumstances other than those in which it is held to be invalid, unenforceable, or unconstitutional, shall not be affected thereby; and each other term, provision, condition, requirement, or portion thereof shall be held valid and enforceable to the fullest extent permitted by law.
7.
Costs. The developer shall pay the costs of any code enforcement activities, including attorney's fees, resulting in the violation of any Provisions of the Sonora Municipal Code, including the Sonora Commercial Specific Plan. The developer shall be responsible for the entire cost to implement the environmental standards in accordance with Section 17.33.060 of this specific plan.
8.
Consent to Hold Harmless. The developer shall, as a requirement of any development within the Sonora Commercial Specific Plan, agree to:
a.
Defend, indemnify and hold harmless the city and agents, officers, attorneys and employees from any claim, action, or proceeding (collectively referred to as proceeding) brought against the city or its agents, officers, attorneys or employees to attack, set aside, void, or annul any action by the city related to or in furtherance of this specific plan, but excluding any subdivision approval governed by Government Code Section 66474.9. This indemnification shall include damages, fees and/or costs awarded against the city, if any, and cost of suit, attorney's fees, and other costs, liabilities and expenses incurred in connection with such proceeding whether incurred by applicant, the city, and/or the parties initiating or bringing the proceeding;
b.
Defend, indemnify and hold harmless the city, its agents, officers, employees and attorneys for all costs incurred in additional investigation and/or study of, or for supplementing, preparing, redrafting, revising, or amending any document associated with the specific plan if made necessary by the proceeding and if applicant desires to pursue securing these approvals, after initiation of such proceeding, which are conditioned on approval of such documents; and
c.
Indemnify the city for all of the city's costs, fees and damages which the city incurs in enforcing the indemnification provisions set forth in this section.
In the event the developer is required to defend, indemnify, and hold harmless the city pursuant to this section, the city reserves the right to approve the counsel to defend the city; all significant decisions concerning the manner in which the defense is conducted; and any and all settlements, which approval shall not be unreasonably withheld.
The city shall also have the right not to participate in the defense, except that the city agrees to cooperate with the developer in the defense of the proceeding. If the city chooses to have counsel of its own defend any proceeding where the developer has already retained counsel to defend the city in such matters, the fees and expenses of the counsel selected by the city shall be paid by the city. Notwithstanding this, if the city attorney's office participates in the defense, all city attorney fees and costs shall be paid by the developer.
(Adopted by Ord. 796 on 10/28/2010)
A.
Site Conditions and Existing Land Uses.
1.
Historical and Existing Land Uses.
a.
Previous Land Use. The specific plan area is currently developed with a 130,166 square foot retail store and associated parking. A rough-graded pad is located to the east of the retail store.
b.
Existing On-Site General Plan Land Use and Zoning. The specific plan area is currently designated heavy commercial by the City of Sonora General Plan. The heavy commercial land use designation is intended for a broad range of commercial land uses for both residents and visitors. Typical uses include shopping centers located within urban areas and along major thoroughfares. The specific plan area is currently designated general commercial (GC) by the City of Sonora Zoning Code. The GC zoning district is intended to provide land necessary for heavy commercial service facilities in well planned areas to serve the community and provide employment and income for its residents. The zone permits retail sales as of right. The general plan and zoning designations are illustrated in Figures 3 and 4.
c.
Surrounding Land Uses. Land uses surrounding the Sonora Commercial Specific Plan area are characterized by commercial uses immediately north, east and west of the site and undeveloped but entitled land to the south and also to the west. The surrounding commercial uses include Blockbuster Video and Big 5 Sporting Goods to the north, Safeway, Staples and vacant spaces formerly occupied by Mervyn's to the east and Regal Sonora Stadium 10 Cinemas, a 16,000 square foot office/retail building and an Applebee's restaurant to the west in Crossroad Plaza. To the south, the undeveloped land in Tuolumne County south of SR-108 is approved for development as a law and justice center. To the west, west of Old Wards Ferry Road, the undeveloped land is approved for development of a Lowe's Home Improvement Warehouse. The specific plan area is bounded by the Sierra Railroad and Sanguinetti Road to the north, SR-108 to the south and Old Wards Ferry Road to the west. Sanguinetti Road is a two-lane undivided road with two grade crossings of the Sierra Railroad. SR-108 is an undivided three-lane facility (two eastbound, one westbound) and is located approximately 12 to 15 feet below the specific plan area. Old Wards Ferry Road is a two-lane undivided roadway with a grade crossing of the Sierra Railroad. The surrounding land uses are illustrated in Figure 5.
B.
Existing Circulation.
1.
Regional Circulation. Excellent regional access to the specific plan area is provided by SR-108 and SR49.
SR-108 is an east-west highway that provides regional access throughout Tuolumne County and neighboring counties of Stanislaus and Mono. It originates in Modesto to the west and terminates at US 395, near the California-Nevada border. It is generally a two-lane undivided highway, with some sections providing two lanes in each direction. In the vicinity of the specific plan area, SR-108 accommodates approximately 18,600 vehicles per day. Access to and from the specific plan area is provided at the two signalized intersections at the Mono Way interchange.
SR-49, which is designated as Washington Street in Sonora, is a north- south highway that provides regional access throughout Tuolumne County and surrounding areas. In the vicinity of the specific plan area, Washington Street is a two-lane roadway that primarily serves commercial uses throughout Downtown Sonora.
2.
Local Circulation. Major roadways in and around the specific plan area are Mono Way, Greenley Road, Sanguinetti Road and Old Wards Ferry Road.
Mono Way is an east-west arterial roadway that parallels SR-108 in the vicinity of the specific plan area. Mono Way stretches from Washington Street to the west and becomes the Sonora Bypass Highway/SR-108 to the east. Between Washington Street and Greenley Road, Mono Way has one lane in each direction. East of Greenley Road, it has two eastbound lanes, one westbound lane, and a center two-way left-turn lane to serve the commercial uses on both sides of the street. The posted speed limit along Mono Way is 30 miles per hour (mph).
Greenley Road is a north-south collector roadway connecting Lyons Street/Lyons Bald Mountain Road to the north and Sanguinetti Road to the south. Between Sanguinetti Road and Sonora Hills Drive, there are two southbound lanes, one northbound lane, and a center two-way left- turn lane. North of Sonora Hills Drive, Greenley Road has one lane in each direction with a center two-way left-turn lane. North of Sonora Hills Drive, Greenley Road has one lane in each direction with a center two- way left-turn lane and primarily serves residential neighborhoods. The posted speed limit along Greenley Road is 25 mph.
Sanguinetti Road is an east-west minor collector roadway that also provides direct access to the specific plan area. Sanguinetti Road stretches from Mono Way to the west to Loop Road to the east. Between Mono Way and Greenley Road, it is a one-way street providing two lanes in the eastbound direction. East of Greenley Road, there are two lanes in the eastbound direction and one lane in the westbound direction, with a center two-way left-turn lane serving the adjacent commercial driveways. The posted speed limit along Sanguinetti Road is 25 mph west of Old Wards Ferry Road and 30 mph to the east.
Old Wards Ferry Road is a north-south minor collector roadway that provides direct access to the specific plan area. Old Wards Ferry Road stretches from Sanguinetti Road to the north to rural areas of Tuolumne County to the south. In the vicinity of the specific plan area, it is a two- lane roadway. In May 2009, the Sonora City Council approved the realignment of Old Wards Ferry Road. The road would be realigned to the west to create a four-legged intersection with the existing Greenley Road/Sanguinetti Road intersection. The road would be realigned in concert with the development of the approved Lowe's Home Improvement Warehouse, located to the west of the specific plan area.
3.
Public Transit. Tuolumne County Transit provides transit service to Sonora, Jamestown, Columbia, Tuolumne, Twain Harte, Sierra Village, and Groveland. The agency provides fixed-route bus service, flex-route bus service, and Dial-A-Ride service.
The specific plan area is served by Routes 1, 2, and 3. All three routes provide fixed-route service and serve the Sonora Crossroads and the Sonora Regional Medical Center, the nearest stops to the specific plan area. All fixed-route buses are equipped with bicycle racks.
Route 1 provides looped service within the Sonora area with 17 bus trips a day, Monday through Friday. Route 2 provides endpoint-to-endpoint service between Sierra Village and Columbia via Sonora. Five bus trips per day are provided in each direction, Monday through Friday. Route 3 provides endpoint-to-endpoint service between Jamestown and Columbia via Sonora. Four bus trips per day are provided in each direction, Monday through Friday.
Dial-A-Ride service offers curbside pickup and drop-off service to disabled persons with and without Americans with Disabilities Act (ADA) certification and persons who are 55 years of age and older. Dial-A-Ride services also are available to the general public within specific service areas.
C.
Existing Physical Conditions.
1.
Topography. The specific plan area is located in the City of Sonora, which is the north-central portion of Tuolumne County and is ringed by several ridgelines of approximately 2,000 to 2,500 feet above mean sea level. Most of the slopes of the surrounding hills are covered by oak woodland vegetation. Bald Mountain, elevation 3,342 feet above mean sea level, is the most prominent topographical feature in the Sonora area.
2.
Hydrology. The specific plan area is located in the Woods Creek Watershed and is drained by Woods Creek, Sonora Creek, Sullivan Creek, and Dragoon Gulch. The Woods Creek Watershed encompasses about 18,588 acres (29.0 square miles), and eventually empties into Don Pedro Reservoir. While there are 45 dams in Tuolumne County, none of the inundation area maps shows the City of Sonora within a potential area of inundation.
The specific plan area has an existing stormwater collection system. Stormwater is collected via inlets located around the specific plan area and is then piped and discharged offsite into a culvert located in the SR- 108 Right-of-Way. Pipe sizes range from 12 to 24 inches in diameter. The City of Sonora operates the stormwater drainage facility within the City limits.
3.
Soils. The specific plan area is a developed, urban area. The soils that underlay the specific plan area were graded and engineered in the early 1990s with the development of the existing retail building. The soils were conditioned to support urban development and are considered stable soils and geologic units. As such, the majority of subsurface soils in the specific plan area consist of silty sands with various amounts of fine to coarse gravel, cobbles, and boulders of up to 36 inches in diameter. The native soils predominantly consist of silty sands, underlain by completely weathered to fresh granite rock with some inclusions of fresh diorite rock.
4.
Seismicity. The specific plan area is located east of the Foothills Fault System, which includes the Melones Fault Zone along the eastern edge of the fault system and the Bear Mountain Fault Zone along the western side of the fault system. The Melones Fault Zone is classified as active (i.e., it has demonstrated displacement within the last 100,000 years), and the Bear Mountain Fault Zone is classified as indeterminable active (i.e., definitive evidence has not been established). Four faults are located within Tuolumne County capable of producing an earthquake including the Negro Jack Point, Bowie Flat, Rawhide Flat West, and Rawhide Flat East faults. The Rawhide Flat West and Rawhide Flat East faults are determined to be capable of producing an earthquake with an estimated maximum magnitude of 6.2, which could result in seismic ground shaking. Ground shaking effects are mitigated through enforcement of the 2007 California Building Standards Code. For development within the specific plan area, building plans will be required to demonstrate that the seismic design parameters recommended by the 2008 Geotechnical Engineering Report prepared by Wallace Kuhl & Associates, Inc. have been incorporated into the design and/or building plans.
The specific plan area is not located within an Alquist-Priolo Earthquake Fault Zone and no known surface expression of fault traces is known to cross the area. As noted above, the specific plan area is underlain by dense granular soils and rock. Shallow groundwater is not present under the area and no slopes are located within or adjacent to the specific plan area.
5.
Hazardous Materials The specific plan area is a developed, active commercial area. It appears on two environmental databases listing parcels with known or potentially hazardous conditions. The first database is the Hazardous Waste Information System database which lists sites recorded on hazardous wastes manifests. This listing only indicates that hazardous materials were transported to or from the specific plan area; it does not indicate that contamination occurred. The second database is the Statewide Environmental Evaluation and Planning System database which lists sites with registered underground storage tanks (USTs). The specific plan area did contain a 1,000 gallon waste underground storage oil tank. It was removed in 1999. At that time, no contamination or leaks were reported and the County of Tuolumne stated that no further action was necessary.
Fluorescent lighting fixtures within the existing retail facility may contain polychlorinated biphenyls and mercury. The existing refrigeration units and rooftop HVAC units may also contain chlorofluorocarbons. The existing automobile service area utilizes seven above-ground storage tanks (AST) that store petroleum hydrocarbons. The specific plan area is also located in an area with high radon potential and is in a High Fire Hazard Severity Zone.
6.
Biological Resources. A majority of the specific plan area is covered with impervious surfaces and the remaining area consists of ruderal (weedy) vegetation and disturbed land including trees and landscaping in planters. Dominant species found in unpaved portions of the specific plan area include field bindweed (Convolvulus arvensis), ripgut brome (Bromus diandrus), and Bermuda grass (Cynodon dactylon). The non- native grasses and weeds are generally low-growing but can include some tall species (up to 6 feet). There are no special-status plant or wildlife species with potential to occur in the specific plan area.
Based on the developed and disturbed condition of the specific plan area, only commonly observed wildlife species would be expected to occur in the area (e.g., sparrows, squirrels). Based on the lack of trees, shrubs, and aquatic resources, there is no indication of a wildlife community in the area. The area also does not contain features suitable for use as a wildlife movement corridor (e.g., open drainages). The specific plan area does support immature trees that could potentially provide nesting habitat for small migratory songbirds. No open channels, natural drainage features, wetlands or waters of the United States exist within the specific plan area.
7.
Climate. Temperatures in the specific plan area range from an average monthly high of 94.6 degrees Fahrenheit in July to an average monthly low of 33.5 degrees F in January. Average annual rainfall is 32.13 inches, and average snowfall is 3.3 inches.
D.
Existing Utilities.
1.
Water. The specific plan area will receive water service from the Tuolumne Utilities District (TUD). TUD operates various water systems within its service area. The specific plan area would be served by the Sonora-Jamestown Water System. TUD's water infrastructure consists of 56 miles of water supply canals and ditches, 13 water treatment plants, approximately 202 miles of distribution piping, and eight community water well systems. TUD has three primary sources of water: surface water from the South Fork Stanislaus River (with an annual yield of approximately 100,000 acre-feet), groundwater (with a total potential annual yield of 2,150 acre-feet), and recycled water (providing landowners with water for irrigation of approximately 547 acres of farm and pastureland).
In 2010, the estimated water demand for the TUD service area based on the TUD Urban Water Management Plan is projected at 17,044 acre-feet with the estimated supply at 24,500 acre-feet. By 2035, the projected demand would be 23,344 acre-feet with a supply estimate of 24,500 acre-feet. Based on these projections, the TUD has sufficient water supply for the development of the specific plan area. Water supply to the specific plan area is provided through a two-inch domestic water line and a two-inch irrigation water line.
2.
Wastewater. The specific plan area receives wastewater service from TUD, which owns and operates the regional wastewater system. TUD collects wastewater from approximately 8,900 connections and transmits it through approximately 101 miles of sanitary sewer lines. Wastewater is treated at the Sonora Regional Wastewater Treatment Plant, which has a capacity of 2.6 million gallons per day (mgd). The average dry weather flow is 1.6 mgd. During winter months, input at the wastewater treatment plant may increase to 2.6 mgd, exceeding the facility's capacity to clarify and digest the input. An expansion of the facility's sewage treatment processing system is underway and TUD has adopted a reclamation strategy that is currently being reviewed by the state.
Existing development in the specific plan area is served by a six-inch line that pipes effluent to a lift station located in the rear of the former Mervyn's building. The lift station serves the entire Sonora Crossroads shopping center and conveys flows via a 4-inch force main to an 18-inch main located within Sanguinetti Road.
3.
Water Quality. The existing drainage within the specific plan area is discussed above in Section 17.33.020(C)(2), Hydrology. During construction, all work would be required to meet the National Pollution Discharge Elimination System (NPDES) requirements for stormwater quality. The contractor would also be required to implement Best Management Practices (BMPs) for erosion control. These requirements will be implemented through the preparation and approval of a Storm Water Pollution Prevention Plan (SWPPP). The SWPPP would ensure that project construction would not violate any water quality standards.
During operations, all activities must comply with a City-approved stormwater management plan. Compliance with the stormwater management plan would ensure that operational activities within the specific plan area would not violate any water quality standards.
4.
Solid Waste Disposal. Solid waste collection and recycling services are provided by Cal Sierra Disposal. Solid waste from the City of Sonora is transported to three landfills in San Joaquin and Merced Counties, which collectively have a 150 million cubic yards of remaining capacity.
5.
Natural Gas. No natural gas service is available in the Sonora area.
6.
Electricity. Electricity service to the specific plan area will be provided by Pacific Gas and Electric (PG&E).
7.
Telephone. Telephone service to the specific plan area will be provided by American Telephone & Telegraph (AT&T).
(Adopted by Ord. 796 on 10/28/2010)
Any and all approvals, decisions, reviews or actions required under this section and required for development within the Sonora Commercial Specific Plan area shall be ministerial, final, and not subject to appeal, and shall be processed pursuant to section 17.33.050.
A.
Land Use Concept. The overall land use concept for the Sonora Commercial Specific Plan is to revitalize, update and expand an existing retail facility to take advantage of the site's excellent regional access and visibility. It will dramatically improve the aesthetic and commercial landscape and provide for development of a full-service retail use to complement existing uses in the surrounding area. The land use concept design will incorporate design elements that complement and are compatible with the architectural theme of the existing commercial landscape by creating an attractive and productive blend of retail uses. Access and parking within the specific plan area is intended to be designed with convenient vehicular, non-motorized vehicle and pedestrian access that blends and interconnects with the surrounding commercial area.
Figure 6 illustrates the conceptual site plan for the Sonora Commercial Specific Plan.
1.
Uses Allowed by Right. Table 17.33.030-1 establishes the permitted uses for the Sonora Commercial Specific Plan area. Ancillary and accessory uses, if proposed, will be reviewed concurrently with any application for development submitted. Ancillary and accessory uses that are not specifically listed as permitted may be approved subject to determination of substantial conformance as set forth in Section 17.33.050.
Note: *Twenty-four-hour operations permitted as-of-right. Twenty-four-hour operations may be permitted for other uses if the community development director determines such a use substantially conforms with the provisions of the Sonora Commercial Specific Plan.
B.
Site Development Standards.
1.
Land and Structure Regulations. Table 17.33.030-2 establishes the land and structure regulations for the Sonora Commercial Specific Plan area:
Note: *Architectural projections are exempt from the thirty-five-foot height limit.
2.
General Design Concepts. Within the Sonora Commercial Specific Plan, general design concepts address the nature and function of the use, building, or feature being considered. Architectural design and details are to be integrated throughout the specific plan area and oriented to areas within public view. Design within the Sonora Commercial Specific Plan shall meld function and form, not one to the exclusion of the other, and promote the harmonious appearance of structures in other commercial areas adjacent to the specific plan area, including the Sonora Crossroads shopping center.
To facilitate design integrity between the uses within the Sonora Commercial Specific Plan and other commercial uses surrounding the specific plan area, the following standards shall be adhered to:
a.
Design shall be consistent with the 1992 city council adopted exterior design requirements for the Sonora Crossroads Shopping Center, including the 2009 amendment to the color palette and architectural features to allow "earth tones" into the stucco walls, front access diamonds storefront frames and parapet coping. Figures 6, 7 and 8 included in this specific plan comply with these requirements.
b.
The community development director shall review and approval all final building plans and elevations to ensure substantial conformance with Figures 6, 7 and 8. Substantial conformance shall be determined as set forth in section 17.33.050.
c.
Review and approval by the community development director as set forth above shall include verification that the average mid-point of any architectural feature or wall is approximately thirty-five feet. If any architectural feature or wall exceeds thirty-five feet then it must be flattened or otherwise lowered.
d.
Development within the specific plan area shall comply with the environmental standards set forth in section 17.33.060. Developer shall bear all costs of implementing such environmental standards.
e.
Shipping container storage shall not be allowed in the specific plan area and all shipping containers stored outdoors must be removed on a permanent basis.
f.
No trees shall be removed until the city has approved a final landscape plan as set forth in section 17.33.030(B)(3) below.
g.
All development within the specific plan area shall comply with all applicable building codes and the requirements of the city, county, state and other responsible agencies.
Figures 7 and 8 illustrate the conceptual exterior elevations and conceptual colors and materials for the specific plan area. Development proposed that substantially conforms to Figures 7 and 8 shall be considered to substantially conform to the Sonora Commercial Specific Plan and shall be processed as a ministerial building permit and construction plan review as set forth in section 17.33.050.
3.
Landscaping. The quality environment envisioned for Sonora Commercial Specific Plan site will be established, in large part, by its landscape treatment. Landscaping is to be designed to highlight positive visual features, to screen negative ones, and to provide a cool, pleasant outdoor environment. Landscaping is also intended to give structure and identity to the overall specific plan area.
Prior to issuance of a grading permit, demolition or ground or vegetation disturbance, whichever occurs first, the developer shall submit a final landscape plan for review and approval by the planning commission, in such form and detail as may be required by the community development director. As set forth in section 17.33.050, this review and approval shall be a non-discretionary, final action that cannot be appealed. The intent of the review is to ensure compliance with the provision of the Sonora Commercial Specific Plan. The approved final landscape plan shall be incorporated into the development proposed.
The final landscape plan shall provide for the following:
a.
All recycling areas are to be effectively screened and contained.
b.
Denser screen along the southern loading dock areas, including additional native ponderosa pine, native oaks and Deodar cedar planted in dense clusters on twelve to fifteen foot centers with an understory of large and medium shrubs to create a denser plant screen along the center's rear facades. Reasonably sized openings may be left in the tree screen to reveal store signage, but no large open views of loading docks. Developer shall apply for an encroachment permit from Caltrans to allow for planting within this area, if necessary. Alternatively, developer shall work cooperatively with the city to enter into a maintenance agreement for landscaping in the Caltrans right-of-way behind the existing retail building. Should Caltrans deny landscaping in this area pursuant to an encroachment (or equivalent) permit, then this requirement shall be eliminated. It is anticipated that landscaping will be accomplished substantially in accordance with landscaping plans already approved pursuant to an existing Caltrans permit (#1091-6CD-1116, Whitney Development Company). It is further anticipated that the costs of watering will be undertaken by the developer as will the costs of installing a separate water meter to maintain landscaping along SR 108 behind the existing retail building (i.e., the developer will be responsible for maintaining landscaping only in that area between SR 108 and the existing retail building). Minor modifications to these requirements may be approved by the community development director, as set forth in section 17.33.050, where such modifications achieve the same goal as the original requirement.
c.
Reserved.
d.
A vine-covered fence is to be constructed at the edge of the paving along the southern limit of the specific plan area to screen ground clutter associated with the loading area. Specifically, the landscape plan shall provide for the planting of vines sufficient to cover the existing chain link fence along the southern portion of the specific plan area. In conjunction with re-surfacing the rear portion of the specific plan area, the developer will plan for the installation and maintenance of vines within the area's boundaries adjacent to the existing fence. Developer shall apply for an encroachment permit from Caltrans to allow for planting within this area, as necessary. Should Caltrans deny landscaping in this area pursuant to an encroachment (or equivalent) permit, then this requirement shall be eliminated.
e.
Automatically controlled underground irrigation shall be installed in all planting areas with a minimum of ½-inch mulch to a depth of two inches or as appropriate in vining and groundcover areas.
f.
The planter separating the Old Wards Ferry Road Specific Plan area entrance drive from the existing store's garden and automotive departments will be solidly planted with coniferous and/or broadleaf evergreen trees to create a dense visual screen to these areas.
g.
Should the planter (or adjacent) landscape area separating the Old Wards Ferry Road Specific Plan area entrance drive from the garden and automotive department require additional terracing and/or retaining walls; retaining wall design and materials shall be submitted in conjunction with the final landscaping plan for review and approval. Retaining walls within the planter shall not exceed four feet in height. Any single wall, excluding the ground level wall in a terraced system, will not exceed eight feet in exposed surface height.
h.
Trees shall be installed as follows: fifteen percent will be twenty-four-inch box and eighty-five percent will be fifteen gallon.
i.
Landscaping shall be in keeping with the character or design of adjacent buildings.
j.
Existing trees shall be preserved wherever possible.
k.
Identification of the type and size of trees to be removed and the proposed landscaping in accordance with the Tree and Landscaping Ordinance. All removed trees shall be replaced at no less than a 1:1 ratio. The city may require certain trees to be replaced at a ratio of greater than 1:1 depending on the species, trunk, diameter, or other factors.
l.
Ornamental trees shall be replaced at the size of tree removed or thirty-six-inch box, whichever is smaller.
m.
If the developer vacates the specific plan area in the future, landscaping associated with the specific plan area shall be maintained in compliance with Sonora Municipal Code Chapter 12.20, Section 12.20.145(A) for as long as the developer remains the property owner. Should ownership change; the new owner will remain subject to the same provisions of the Sonora Municipal Code relative to landscape maintenance.
n.
Developer shall be responsible for maintaining all landscape plants in a healthy and attractive condition for the life of the project for on-site landscaping. All landscaping to be maintained and replaced on a monthly basis, weather permitting, to assure consistent tree size.
Figure 9 illustrates the preliminary planting plan for the specific plan area. Development proposed that substantially conforms to Figure 9 shall be considered to substantially conform to the Sonora Commercial Specific Plan and shall be processed as a ministerial building permit and/or construction plan review as set forth in section 17.33.050.
4.
On-Site Circulation, Parking, and Loading.
a.
On-Site Circulation. The on-site circulation standards within the Sonora Commercial Specific Plan will ensure the efficient and safe passage of vehicles and pedestrians to and from the various commercial uses within the specific plan area.
On-site circulation within the specific plan area shall adhere to the following requirements:
(1)
All ingress and egress routes shall be maintained clear of storage, delivery trucks or other obstructions at all times.
(2)
The circulation system shall include adequate directional signs for entrances, exits, parking areas, loading areas, and other uses.
(3)
On-site driveways shall be permitted to provide common access between the specific plan area and adjacent properties.
(4)
Site lines required for safe automobile movement shall be kept clear. Screens and structures shall not be located where they would block such site lines.
(5)
On-site pedestrian walkways should provide direct, safe, and adequate movement paths between parking areas and building entrances.
(6)
Trucks shall access the specific plan area via the southernmost Old Wards Ferry Road driveway. Once onsite, trucks shall travel along the south property line and ultimately exit via Old Wards Ferry Road.
b.
Parking. Off-street parking configurations within the specific plan area shall adhere to the following requirements:
(1)
One parking stall per two hundred gross square feet of floor area shall be required for uses in the specific plan area. Employee parking is deemed to be included in the general requirement of one parking stall per twohundred square feet of gross floor area. Gross floor area, as used in this specific plan, means the interior floor area, in square feet, of a business which is necessary for the operation of that business. This includes all work areas, hallways, private bathrooms, and storage areas used and necessary for the business to be operated, except for common hallways, private or public bathrooms used by other businesses, and unmanned storage areas not open to the public or not normally open during business hours.
(2)
When, after computing the number of parking spaces required, there appears a fractional requirement of one-half space or more, one additional parking space shall be required. If less than one-half, no additional space is required.
(3)
One percent of the total parking spaces shall be constructed to comply with the California Disabled Access Regulations.
(4)
The required parking shall be provided on the parcel or contiguous parcel where the use is located.
(5)
Parking spaces shall have a minimum size of nine feet by eighteen feet when outdoors and free of obstructions such as columns or walls.
(6)
Up to one-third of all parking stalls may be marked "Small Cars Only" and may be eight feet by sixteen feet in dimension.
(7)
Parking aisles shall have a minimum width of twelve feet when stalls are parallel to the aisle or up to an angle of forty degrees, seventeen feet when stalls are at an angle between forty degrees and seventy degrees, and twenty-three feet when stalls are at an angle between seventy degrees and ninety degrees.
(8)
Parking stalls and aisles shall have a maximum grade of seven percent.
(9)
Each parking stall and aisle shall have a minimum eight-foot vertical clearance.
(10)
Each parking stall shall have vehicular access to the street, without passing over other parking stalls.
(11)
Each parking stall and aisle shall be graded, drained and surfaced, so as to prevent dust, mud or standing water, and shall be identified by pavement markings, to the satisfaction of the city engineer.
(12)
Lighting shall be provided in the parking area pursuant to section 17.33.030(B)(8).
(13)
A minimum four-foot high solid fence, wall or thick hedge shall be permanently maintained between any residential zone and a parking area serving a commercial use, where such an area is contiguous to such a zone.
(14)
The property owner shall provide documentation (contract, letter of agreement, etc.) to the satisfaction of the community development director verifying the manner by which cleaning and sweeping of the parking lot is to occur.
c.
Loading.
(1)
Each loading berth shall have a minimum size of twelve feet by thirty-five feet whether indoors or outdoors.
(2)
Each loading stall and access thereto shall have a minimum fifteen feet vertical clearance.
(3)
Each loading berth shall have vehicular access to the street, without passing over other parking stalls.
(4)
A minimum of one loading berth shall be required for each forty thousand square feet of gross floor area or part thereof within the specific plan area. When, after computing the number of loading spaces required, there appears to be a fractional requirement of one-half space or more, one additional loading space shall be required. If less than one-half, no additional loading space is required.
(5)
Loading areas shall be designed to provide for backing and maneuvering on site and not from or within a public street. Direct loading from a public street shall not be permitted.
(6)
Loading bays shall be sealed with rubber gaskets to reduce noise impacts to adjacent areas.
5.
Outdoor Storage/Sales. The following requirements shall apply to all outdoor storage and sales in the Sonora Commercial Specific Plan area:
a.
Outdoor storage shall be limited to designated pallet storage areas located on the southwest corner of the specific plan area. This provision does not apply to outdoor sales areas, sidewalk sales, and "garden centers." Sales within parking areas are permitted but shall not exceed an area of sixty parking spaces and shall be confined to the area along the western boundary of the specific plan area in the front parking lot.
b.
Ingress and egress for emergency vehicles shall be maintained at all times within the sales and storage area.
c.
Outdoor storage in other locations within the specific plan area shall not be precluded so long as such storage areas do not occupy parking spaces.
d.
The southwest corner of the specific plan area shall be screened to reduce the visibility of outdoor storage areas and mechanical equipment, trash enclosures, recyclable materials and the bale and pallet storage area. Developer shall install visual screening in the form of landscaping, enclosures or other appropriate screening methods in this area.
Any new outdoor storage areas not in conformance with the provisions above shall require submittal of an application to the community development director for approval prior to use.
6.
Signage. Signage and graphics will be an important element within the Sonora Commercial Specific Plan area. The intent of the sign program is to provide for maximum sign exposure for uses within the specific plan area in a manner that will complement the overall image of the area while preserving and enhancing the aesthetic, vehicle and pedestrian traffic safety and convenience, and environmental values of the surrounding area.
Except as otherwise set forth herein, all signs, including, but not limited to, A-type and moveable freestanding signs, canopy signs, construction project signs, on-site directional signs, projecting building signs, wall signs, window signs and temporary signs, shall be permitted in the specific plan.
The community development director shall confirm that any proposed signs substantially conform with the requirements of the specific plan. As set forth in section 17.33.050, any review for substantial conformance shall be a non-discretionary, final action that cannot be appealed. The intent of the review is to ensure compliance with the provision of the Sonora Commercial Specific Plan. Changes in existing sign copy and relocation of existing signs that do not change the existing sign area shall be deemed to substantially conform with the sign requirements of the specific plan and shall not require any additional approvals.
The following sets forth the requirements for signs in the Sonora Commercial Specific Plan area:
a.
Definitions. The definitions stated in Sonora Municipal Code Section 15.28.020 are incorporated herein.
b.
General Sign Requirements.
(1)
A combination of not more than two types of signs (freestanding, wall or projection) for each place of business or occupancy shall be permitted.
(2)
Roof signs, wind signs, animated signs, signs that emit sound or flashing lights shall be prohibited.
(3)
No sign shall be erected in such a manner that it will or may reasonably be expected to interfere with, obstruct, confuse or mislead traffic, except such signs placed by a public agency for control of traffic by vehicles or pedestrians.
(4)
No sign shall be placed in any manner, or be maintained on any fence.
(5)
No signs shall be affixed to trees or shrubs.
(6)
Signs and sign structures shall be maintained at all times in a state of good repair.
(7)
No sign shall be sagging, leaning, fallen, decayed, deteriorated, or exhibit other dilapidated or unsafe conditions, as determined by the building official.
(8)
All signs and sign structures shall be constructed, installed or erected with more than a six-foot horizontal and a twelve-foot vertical clearance to energized electrical power lines.
c.
Freestanding Signs.
(1)
Maximum area for freestanding signs: Thirty-two square feet.
(2)
Maximum height for freestanding signs: Thirty-five feet.
(3)
The structural support for freestanding signs shall be wholly on the owner's property.
(4)
Freestanding signs over five feet in height may project over public property, or public vehicular or pedestrian easements or ways, a distance determined by the clearance of the bottoms thereof above the level of the sidewalk or grade of the public property or easement or way immediately below, as follows:
(A)
A clearance of less than eight feet is not permitted;
(B)
For a clearance of eight feet, the maximum projection is one foot;
(C)
For a clearance of eight feet to fourteen feet, the maximum project is one foot plus six inches for each foot of clearance in excess of eight feet;
(D)
For a clearance over fourteen feet, the maximum projection is four feet;
(E)
No sign shall project within two feet of the curb line.
(5)
Every freestanding sign shall be constructed wholly of metal, wood, fire-resistant plastic or other substantially similar material.
d.
Wall Signs.
(1)
Maximum area for wall signs: three percent of the total frontage wall area.
(2)
No part of any wall sign shall extend above the top level of the wall upon or in front of which it is situated.
(3)
Any wall sign that is suspended or projects over any public walkway or wall area shall have an overhead clearance of at least eight feet.
(4)
No wall sign, including any light box or other structural part, shall project more than twelve inches from the building face.
(5)
There may be any number of wall signs for each building frontage, but in no case shall the total wall sign area for each frontage exceed area limitations.
e.
Projecting Signs.
(1)
Maximum area for projecting building signs: Thirty square feet.
(2)
No projecting building sign shall extend above the top level of the wall upon or in front of which it is situated. In the case of buildings having sloping roofs, no such sign shall extend above the roof ridge. Any such sign which projects over public property shall have a clearance of eight feet above the ground, and a fourteen-foot clearance above vehicle-ways.
(3)
Projecting signs may project over public property, or public vehicular or pedestrian easements or ways, a distance determined by the clearance of the bottoms thereof above the level of the sidewalk or grade immediately below, as follows:
(A)
A clearance of less than eight feet is not permitted;
(B)
For a clearance of eight feet, the maximum projection is one foot;
(C)
For a clearance of eight feet to fourteen feet, the maximum projection is one foot plus six inches for each foot of clearance in excess of eight feet;
(D)
For a clearance over fourteen feet, the maximum projection is four feet;
(E)
No sign shall project within two feet of the curb line.
f.
Special Purpose Signs.
(1)
Maximum area for signs erected in conjunction with construction projects (i.e., construction signs): Six square feet.
(2)
Maximum height for freestanding construction signs: Five feet.
(3)
All construction signs shall be removed before a final release on the construction is given by the building official.
(4)
Maximum area for directional signs used for the purpose of facilitating or controlling the efficient or safe movement of pedestrians or vehicles on or onto private property (i.e., directional signs): Six square feet.
(5)
Directional signs shall be located on the property to which they pertain.
(6)
A maximum of two on-site directional signs per drive approach shall be allowed.
g.
Abandoned Signs. Abandoned signs shall not be permitted, maintained or permitted to be maintained within the specific plan area. Any such sign shall be abated by the owner, the building official, or any other person in a lawful manner.
The following types of signs are presumed to have been abandoned:
(1)
Signs located on property which has become vacant and unoccupied for a period of six months or more;
(2)
Signs erected for an occupant or business unrelated to the present occupant or business; and
(3)
Signs pertaining to a time event, or purpose that has passed or no longer pertains.
Deviations from the approved sign program set forth above that do not substantially conform to the approved program, shall require the approval of the community development director. If any provision of the sign program conflicts with regulations or requirements of the City of Sonora Municipal Code, the provisions of this document shall take precedence.
7.
Noise.
a.
Construction Noise. Hours of exterior construction shall be limited to between the hours of 7:00 a.m. and 7:00 p.m. Monday through Friday; 8:00 a.m. and 5:00 p.m. Saturday; and 10:00 a.m. and 3:00 p.m. Sunday and federal holidays.
All construction equipment shall be acoustically muffled to reduce noise in accordance with Caltrans Standard Specifications.
b.
Operational Noise. Development in the specific plan area shall comply with the noise standards contained in the noise element of the Sonora General Plan.
8.
Lighting. The following section addresses illumination of on-site areas for the purposes of safety, security, and nighttime ambience, including lighting for parking areas, pedestrian walkways, graphics and signage, architectural and landscape features, shipping and loading areas, and any additional exterior areas.
Prior to issuance of a grading permit, demolition or ground or vegetation disturbance; whichever occurs first, the developer shall prepare and submit a final lighting plan. The final lighting plan shall be reviewed and approved by the planning commission to ensure compliance with the provisions of the Sonora Commercial Specific Plan. As set forth in section 17.33.050, this review and approval shall be a non-discretionary, final action that cannot be appealed. The intent of the review is to ensure compliance with the provisions of the Sonora Commercial Specific Plan. The approved lighting plan shall be incorporated into the development proposed.
The lighting plan shall demonstrate that all exterior lighting fixtures associated with development in the specific plan area (building-mounted and freestanding) are shielded, recessed, or directed downward to prevent unwanted illumination of neighboring properties.
The final lighting plan shall provide for, but is not limited to, the following:
a.
Light fixtures shall be shielded to keep light focused on the specific plan area.
b.
Outdoor lighting of pedestrian areas shall be limited to ground level lighting or decorative lamps on fourteen-foot maximum pole heights.
c.
Outdoor lighting of parking areas shall be limited to ground level lighting and overhead luminaries not to exceed existing pole heights.
d.
Pole-mounted lights shall be cut-off directing illumination downward.
e.
Building lighting shall be limited to indirect or cut-off sources for security after hours (as applicable to 24/7 operations),
f.
Light sources shall be metal halide and limited to an average of 3.3 foot-candles maximum average intensity. New parking lot lighting shall comply with the California Energy Code and Title 24. Non-Residential Energy Compliance Forms shall accompany the building permit application.
9.
Fire Protection. Prior to issuance of a grading permit, demolition or ground or vegetation disturbance; whichever occurs first, the developer shall submit to the Sonora Fire Department for review and approval a complete set of building plans, wet stamped by an architect or licensed engineer and a complete set of plans for an automatic fire sprinkler system indicating calculated fire flow for the system, signed by a licensed automatic fire sprinkler contractor.
Note that any warehouse storage proposed will need to install rack sprinklers. The existing retail building does not have rack sprinklers but any new rack storage will require rack sprinklers. The fire flow for the building shall be determined by the size of the building and type of construction.
Standpipes may be required due to building size, fire flow requirements, and distance from building egress. A fire sprinkler system with one hundred or more sprinkler heads shall be monitored by a UL approved central alarm station which supervises the system twenty-four hours per day. The installation of fire hydrants in the specific plan area will be required per the current edition of the California Building Code. Fire hydrant locations and numbers will be determined by the fire department upon receipt of a plot plan drawn to scale, with locations and numbers established in accordance with the current edition of the California Building Code.
The fire department connection (FDC) shall be installed at the rear of the building, with final location to be determined by the fire department. A single FDC is preferred, if feasible. If the development requires a second FDC, double backflow protector, riser (i.e., complete separate system); then the developer shall apply for and secure approval from TUD for the second connection into the domestic water system.
10.
Business Licenses. Prior to the issuance of a grading permit, demolition or ground or vegetation disturbance; whichever occurs first, the developer will comply with City of Sonora provisions for obtaining business licenses for the construction contractor and subcontractors.
Prior to the issuance of a final certificate of occupancy, the developer shall comply with City of Sonora provisions for obtaining business licenses (including amendments to existing licenses) for the building occupant.
(Adopted by Ord. 796 on 10/28/2010; Ord. No. 914, §§ 1, 2, 10-20-2025)
Any and all approvals, decisions, reviews or actions required under this section and required for development within the Sonora Commercial Specific Plan area shall be ministerial, final and not subject to appeal, and shall be processed pursuant to Section 17.33.050.
A.
Infrastructure.
1.
General Provisions (TUD, Concrete, Cool Roof, Burning).
a.
The specific plan area will be served with public water and public sewer provided by the TUD. Prior to issuance of building permits, the developer shall:
(1)
Provide final verification of all required utilities to the community development department.
(2)
Provide proof to the building department that "change of use" fee payments have been paid to or waived by the Tuolumne Utilities District.
(3)
Provide verification that all new utilities shall be placed underground.
(4)
Submit the proposed concrete design mix to the city building department to confirm that the proposed concrete will include 15-20% fly ash, or alternative as approved by the building official.
(5)
Provide the building department with documentation that the proposed "white roof" is a certified "Cool Roof," as required by the California Energy Commission.
b.
In addition, any development in the specific plan area shall comply with the following:
(1)
Prior to burning of vegetation during land development clearing, the developer shall notify the Tuolumne County Air Pollution Control District of the intent to burn and a finding shall be made by the District that such burning is warranted as specified in district rule 310.2(A)-Land Development Clearing. Such burning shall also be coordinated with the city fire department requirements.
(2)
Any aggregate used for surfacing material that contains greater than 0.25% asbestos shall be incorporated into or completely covered by asphalt concrete, Portland cement concrete, or similarly cemented material.
2.
Water Facilities. The specific plan area will receive water service from the TUD through an existing 2-inch domestic water line and a 2-inch irrigation water line. TUD's Urban Water Management Plan projects annual water surpluses ranging from 5,526 acre-feet in 2010 to 256 acre- feet in 2035. The specific plan area's total anticipated water demands, which area accounted for in the Urban Water Management Plan, are estimated to be 9,174 gallons per day (gpd) or 182,500 gallons (0.56 acre-feet) annually.
Prior to the issuance of a grading permit, demolition or ground or vegetation disturbance, whichever occurs first, the developer shall submit an underground utilities plan to the city engineer for approval by respective agencies (e.g., Tuolumne Utilities District, Sonora Fire Department). The developer shall, within preparation of the improvement plans for the water system, provide water mains, hydrants, and fire flows as required by the City of Sonora Fire Department. Fire hydrant locations to be shown on the plan as determined by the fire chief.
3.
Wastewater Facilities. The Central Valley Regional Water Quality Control Board (CVRWQCB) enforces wastewater treatment and discharge requirements for the specific plan area. The specific plan area would convey wastewater via municipal sewage infrastructure maintained by the TUD to the Sonora Regional Wastewater Treatment Plan (SRWTP). The specific plan area is estimated to generate 5,764 gallons per day of effluent, which is well within the existing available capacity of the SRWTP.
4.
Storm Drains. The City of Sonora operates stormwater drainage facilities within the city limits. The specific plan area has an existing stormwater collection system that will continue to serve the area. Stormwater is collected via inlets where it is then discharged offsite into a culvert located in the SR-108 Right-of-Way. Pipe sizes range from 12 to 24 inches in diameter. Implementation of the specific plan will not require new or expanded offsite storm drainage facilities. However, prior to the issuance of a grading permit, demolition or ground or vegetation disturbance; whichever occurs first, the city engineer shall approve an engineered drainage plan that will include on and off-site drainage measures necessary to accommodate the increased flows created by development within the specific plan area.
5.
Solid Waste Disposal. Cal Sierra Disposal provides solid waste and recycling services to the City of Sonora, including the specific plan area. During construction, it is estimated that the specific plan area would generate 55 tons of solid waste. During operation, it is estimated that the specific plan area would generate approximately 68 tons of solid waste annually.
6.
Natural Gas. No natural gas service is available in the Sonora area.
7.
Police Protection. The Sonora Police Department will provide police protection to the specific plan area.
8.
Fire. The Sonora Fire Department will provide fire protection and emergency medical services to the specific plan area.
9.
Electricity and Telephone. The specific plan area is located within PG&E's service territory. PG&E would provide electrical services to the specific plan area. Telephone service to the specific plan area will be provided by AT&T. If a stationary emergency standby diesel fueled engine is required for emergency generation purposes (e.g., for refrigeration units), development shall comply with Section 93115, Title 17-California Code of Regulations, Airborne Toxic Control Measure for Stationary Compression Ignition Engineers.
10.
Schools. Prior to the issuance of building permits, the developer shall pay school impact fees. Impact fees are currently 0.47 per square foot.
B.
Project Access. Access to the specific plan area allows for safe and efficient travel to and from the area. Administrative provisions and signage of the specific plan will facilitate direction and access throughout the area. Public transportation will be permitted in the specific plan area.
Vehicular access to the specific plan area will be provided by six driveways, including two on Old Wards Ferry Road and four on Sanguinetti Road. A full signalized access point is present on Sanguinetti Road, which also serves the other uses in the Sonora Crossroads. A full unsignalized access point exists on Old Wards Ferry Road and provides access to the existing tire & lube express and loading dock. Additional vehicular access to the specific plan area is available through the Crossroads Plaza, which has access to Sanguinetti Road and Old Wards Ferry Road, and the Sonora Crossroads parking area, which has access to other points on Sanguinetti Road. The southern Old Wards Ferry Road access point and the eastern Sanguinetti Road access point provide truck access to the existing retail store within the specific plan area.
Adequate pedestrian access will also be provided. Prior to the issuance of a grading permit, demolition or ground or vegetation disturbance, whichever occurs first, the developer shall submit a sidewalk plan to the city engineer for review and approval. The sidewalk plan shall provide for the construction of a sidewalk along the eastern side of any expansion to the existing retail store. This sidewalk shall meet the accessibility requirements for the Americans with Disabilities Act and be constructed in conformance with any approved plans prior to the issuance of a final certificate of occupancy. All ingress and egress routes shall be maintained clear of storage, delivery trucks or other obstructions at all times.
C.
Grading. Given the relatively level topography within the specific plan area, development will result in modest changes to topography and ground surface features to primarily address drainage flow.
However, prior to the issuance of a grading permit, demolition or ground or vegetation disturbance, whichever occurs first, the developer shall submit to the city engineer for review and approval the following:
1.
A Comprehensive Engineered Grading Plan showing the tops and toes of all slopes, grade and width of access roads and parking areas, etc. To minimize the amount of grading and clearing of the property, the plan shall include provisions that grading and clearing be limited to the developed area (existing building pad, parking area, landscape, ingress/egress) as identified in Figure 6.
2.
An Erosion and Sediment Control Plan, related to grading or other earthwork to be performed in the specific plan area between October 1 and May 1 of any given year that construction takes place in the specific plan area. The plan shall identify potential erosion problems related to the development project, and measures to be employed to control such concerns. As a site in excess of one acre, the State of California requires that a Storm Water Prevention Plan (SWPPP) be incorporated as part of this plan.
D.
Construction. Throughout project construction under the Sonora Commercial Specific Plan, developer shall be required to comply with the following provisions:
1.
The developer shall be responsible for dust abatement during earthwork and construction operations. A watering truck(s) or other watering device(s) shall be on the project site on all days when natural precipitation does not provide adequate ground moisture for complete dust control. Said watering device(s) shall be used to spray water at the site at the end of each day and at other intervals, as the need dictates, to control dust.
2.
All construction equipment is to be properly maintained in order to reduce exhaust emissions.
3.
Fugitive emissions from construction or site activities shall be controlled at all times using reasonably available control technology. Vehicle speeds of construction equipment shall be limited to 10 miles per hour.
4.
The developer shall ensure that all construction or site activities do not create a nuisance as defined in Air Pollution Control District Rule 205 at any point beyond the proposed project's property lines.
5.
All construction equipment to be acoustically muffled to reduce noise, in accordance with Caltrans Standard Specifications.
6.
Construction within the specific plan area shall comply with Section 17.33.030(7) of this specific plan regarding hours of exterior construction.
7.
Construction shall comply with final building design plans and elevations as approved by the community development director through the procedures set forth in the Sonora Commercial Specific Plan.
E.
Reserved.
F.
Fiscal Implementation. Implementation of the specific plan including, without limitation, construction of all infrastructure and private facilities contemplated in the specific plan, will be financed as follows:
1.
All infrastructure necessary to implement the specific plan will be privately funded (by way of debt and/or equity financing), except to the extent that the cost of components of the infrastructure is:
a.
funded by development impact fees, fair share contributions and other payments to public agencies; and/or
b.
reimbursed from any public source.
2.
All private improvements necessary to implement the specific plan will be privately financed (by way of debt and/or equity financing).
(Adopted by Ord. 796 on 10/28/2010)
A.
Permit Processing. Development within the specific plan area which substantially conforms to the provisions of the Sonora Commercial Specific Plan and the conceptual site plan, elevations, colors and materials, and landscaping as depicted in Figures 6 through 9, shall be processed as a ministerial building permit and construction plan review. Any approval, decision, review or action in this respect shall be ministerial, final and not subject to appeal.
For the purposes of development anticipated under the Sonora Commercial Specific Plan, ministerial building permit and construction plan review includes any subsequent approvals, decisions, review or actions required by city agencies, entities or individuals (i.e., the Sonora Fire Department, the city engineer, the city building department). The purpose of these approvals, decisions, review or actions is to ensure compliance with the provisions of the Sonora Commercial Specific Plan and all applicable building codes and requirements of the city, county, state and other responsible agencies. Ministerial building permit and construction plan review shall be non-discretionary, final actions that cannot be appealed.
Except as set forth above, no additional approvals or permits shall be required for development or operation within the specific plan area. Any building permit or construction plan review can be submitted to the community development director for evaluation and finding of substantial conformance as described below. This includes modifications to the Sonora Commercial Specific Plan as well as modifications to the conceptual site plan, elevations, colors and materials, and landscaping as depicted in Figures 6 through 9.
B.
Existing Uses. Existing uses or structures are not subject to the provisions of the Sonora Commercial Specific Plan provided a building permit has been obtained and is still valid at the time of the effective date of the provisions codified in this title.
C.
Substantial Conformance.
1.
Purpose of Substantial Conformance. The purpose of substantial conformance is to provide a mechanism for implementing the specific plan. During review of construction plans and building permit applications, the community development director or designee will have the limited ability to interpret the specific plan and determine that the proposed development is in substantial conformance with the Sonora Commercial Specific Plan. Substantial conformance may include, but is not limited to, inclusion of land uses not listed in Section 17.33.030 of the specific plan; modifications that might be necessary to comply with applicable infrastructure, public services and facilities requirements, and landscape palette; and other issues. Substantial conformance shall not include modifications in the basic design of the project; significant changes to the height or bulk of the approved uses; or increases in the density or intensity of the approved uses unless specifically permitted by the provisions of this specific plan.
The use of substantial conformance is intended to ensure orderly development, quality aesthetic design, and safe and harmonious placement of uses within the specific plan area. Determinations of substantial conformance (unless specifically noted otherwise) shall be made by the community development director or designee administratively, without the need for a public hearing. In making a determination of substantial conformance, the community development director or designee shall first make all the required findings set forth in this section.
2.
Guidelines for Determination of Substantial Conformance. The following guidelines define the provisions of the specific plan subject to determinations of substantial conformance, and the limits placed on the degree of variance from the provisions of the specific plan that can occur through the substantial conformance procedure.
a.
Permitted Land Uses. Land uses not listed as permitted in section 17.33.030 of this specific plan may be permitted, subject to a determination of substantial conformance, provided that:
(1)
The proposed use is compatible with the uses permitted described in section 17.33.030 of the specific plan; and
(2)
The proposed use is similar to and will not cause environmental impacts substantially greater than the other permitted uses set forth within section 17.33.030 of this specific plan.
b.
Infrastructure. Any modifications to the alignment of access roads; parking lot configurations, or adjustments to individual infrastructure facilities plans such as drainage, sewer, water, and utilities shall be subject to substantial conformance review and approval by the community development director or designee. Prior to a determination of substantial conformance, the community development director or designee shall make the finding that the proposed modification will not result in any environmental impacts substantially greater than those which would occur in the absence of the substantial conformance determination.
c.
Environmental Mitigation Standards. The community development director or designee may approve minor variations from the environmental standards set forth in section 17.33.060 of this specific plan, subject to a determination of substantial conformance. In making such a determination, the community development director or designee shall first find that the proposed variation provides substantially equivalent environmental protection as the originally approved standard.
d.
Other Specific Plan Provisions. Provisions of the specific plan including, but not limited to, architectural details; landscape palette; building size, height, bulk, and orientation; parking lot layout; and other plan details may be modified utilizing substantial conformance provisions. In making such a determination, the community development director or designee shall be required to find that the revisions requested under substantial conformance are consistent with the provisions of the Sonora General Plan, and will not create impacts substantially greater than those that would have resulted from the original approval of the specific plan.
A maximum of ten percent modification to permitted lot coverage, setbacks, floor area (other than the maximum allowable with the project site), and fence and wall heights may be permitted subject to a determination of substantial conformance by the community development director or designee. In making such a determination, the community development director or designee shall be required to find that the revisions requested under substantial conformance are consistent with the provisions of the Sonora General Plan, and will not create impacts substantially greater than those that would have resulted from the original approval of the specific plan.
The required parking spaces may be reduced by the community development director or designee subject to a determination of substantial conformance following preparation of a parking study that demonstrates the proposed reduction in parking spaces is justified based on the mix of uses within the specific plan area and the use of shared parking between those uses.
A comprehensive sign program may be submitted to the community development director for a finding that it substantially conforms with the signage requirements of the Sonora Commercial Specific Plan. Upon approval by the community development director as set forth above, any subsequent sign permit application that substantially complies with the comprehensive sign program shall be processed as a ministerial building permit and/or construction plan review. Any modifications to the sign program may be effectuated through a finding of substantial conformance.
D.
Substantial Conformance Procedure.
1.
Application and Filing Fee. Applications for the determination of substantial conformance shall be made on forms provided by the community development director or designee and shall be accompanied by a filing fee, equivalent to the fee for a site plan review application. Applications shall be made by the owner of the property for which the approval is sought, or an authorized agent.
2.
Hearing. No public hearing shall be required for a determination of substantial conformance.
3.
Action by Reviewing Authority. The reviewing authority for a determination of substantial conformance shall be the community development director or designee. The reviewing authority shall take action by providing written notice to the applicant approving, conditionally approving, or denying the determination of substantial conformance. The action of the community development director or designee shall be final with no appeal.
4.
Findings. The community development director or designee must make a determination of substantial conformance if all of the following findings, in addition to those identified above, can be made:
a.
The physical characteristics of the site have been adequately addressed, and proposed building sites are of adequate size and shape to accommodate proposed uses and all other features of development.
b.
There is supporting infrastructure, existing or available, consistent with the requirements of the Sonora Commercial Specific Plan, to accommodate the development without significantly lowering service levels.
c.
The development resulting from the determination of substantial conformance will not have a substantial adverse effect on surrounding property or the permitted use thereof, and will be compatible with the existing and planned land uses, as well as the character of the surrounding area.
d.
The proposed improvements related to the development resulting from the determination of substantial conformance adequately address all natural and man-made hazards associated with the proposed development and the project site.
E.
Specific Plan Amendments.
1.
Purpose. Amendments to the Sonora Commercial Specific Plan shall be required for revisions that are beyond the scope of substantial conformance determinations. Specific plan amendments are governed by Government Code Section 65433 and the Sonora Municipal Code Chapter 17.68.
2.
Process.
a.
The specific plan may be amended or repealed only by a majority of the voters voting in an election thereon.
b.
Notwithstanding subsection (a), upon application of the fee title holder of the Sonora Commercial Specific Plan area, the city council may amend the specific plan to further the purposes of this specific plan, but in no case can such amendment reduce or eliminate the parties' obligation to fund, construct, or cause to be funded or constructed, the public benefits or mitigation measures required.
(Adopted by Ord. 796 on 10/28/2010; Ord. No. 914, § 3, 10-20-2025)
The specific plan includes environmental standards to ensure that development proceeds with appropriate environmental sensitivity. Environmental studies related to health risks, air quality, biological resources, geology and soils, hydrology and water quality, noise, public services and utilities, traffic, urban decay, and cultural resources were conducted for an expansion of the existing retail facility in the specific plan area. Environmental standards were developed from these environmental studies along with information from the City of Sonora General Plan.
All environmental standards shall be implemented in accordance with the specific plan's environmental standards and implementation process as outlined in Table 17.33.060-1. The developer of the specific plan area shall bear all costs of implementing the environmental standards.
(Adopted by Ord. 796 on 10/28/2010)
Figures 1 - 9
LEGAL DESCRIPTION OF SPECIFIC PLAN AREA Figure 1
Existing General Plan Designations Figure 3
Exising Zoning Designations Figure 4
Surrounding Land Uses Figure 5
Conceptual Exterior Elevations Figure 7
Conceptual Colors and Materials Figure 8
Preliminary Planting Plan Figure 9
(Adopted by Ord. 796 on 10/28/2010)