FIGURES
Figure 38-1: Freeway-Oriented Activity Areas
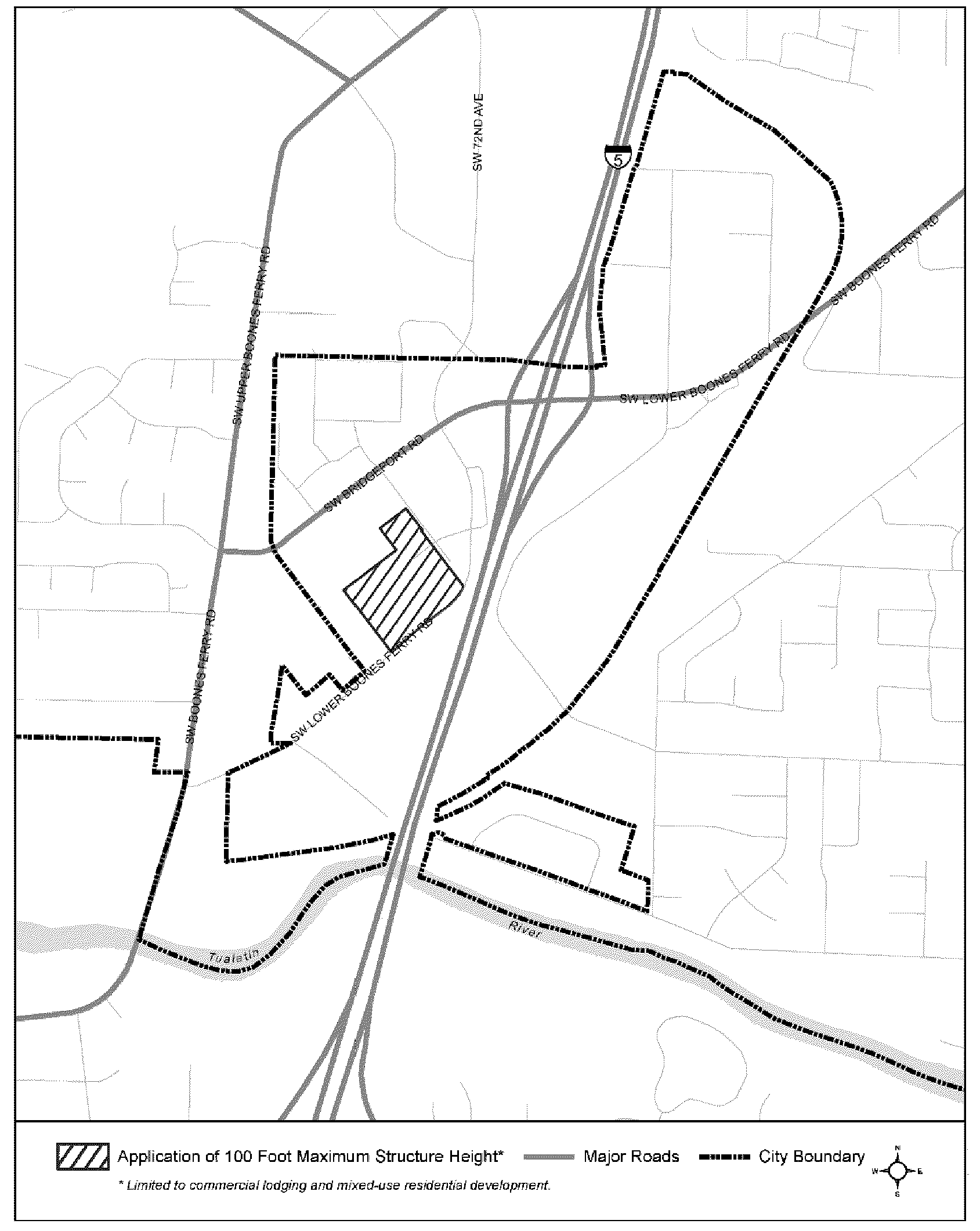
Figure 57-1: 100-Foot Maximum Structure Height
Figure 71-1: Development Setbacks
Figure 73-1: Parking Space Design Standards
Figure 73-2: Vision Clearance Area
Figure 73-3: Tree Canopy Coverage
Figure 73-4: Central Design District
Figure 73-5: New Fence
Figure 73-6: Masonry Fence Design Type
Figure 74-1A: Typical Street Design Standards
Figure 74-1B: Typical Street Design Standards
Figure 57-1
100-Foot Maximum Structure Height

(Ord. No. 1438-20, § 14, 6-22-20)
Figure 71-1
Development Setbacks

(Ord. No. 1486-24, § 17, 6-10-24)
Figure 73-3: Tree Canopy Coverage
(Ord. No. 1486-24, § 17, 6-10-24)
(Ord. No. 1451-25, § 15, 8-11-25)
(Ord. No. 1451-25, § 15, 8-11-25)
(Ord. No. 1451-25, § 15, 8-11-25)
(Ord. No. 1451-25, § 15, 8-11-25)
TABLE OF OMITTED FIGURES
FIGURES
Figure 38-1: Freeway-Oriented Activity Areas
Figure 57-1: 100-Foot Maximum Structure Height
Figure 71-1: Development Setbacks
Figure 73-1: Parking Space Design Standards
Figure 73-2: Vision Clearance Area
Figure 73-3: Tree Canopy Coverage
Figure 73-4: Central Design District
Figure 73-5: New Fence
Figure 73-6: Masonry Fence Design Type
Figure 74-1A: Typical Street Design Standards
Figure 74-1B: Typical Street Design Standards
Figure 57-1
100-Foot Maximum Structure Height

(Ord. No. 1438-20, § 14, 6-22-20)
Figure 71-1
Development Setbacks

(Ord. No. 1486-24, § 17, 6-10-24)
Figure 73-3: Tree Canopy Coverage
(Ord. No. 1486-24, § 17, 6-10-24)
(Ord. No. 1451-25, § 15, 8-11-25)
(Ord. No. 1451-25, § 15, 8-11-25)
(Ord. No. 1451-25, § 15, 8-11-25)
(Ord. No. 1451-25, § 15, 8-11-25)
TABLE OF OMITTED FIGURES