Supplemental regulations.
The following regulations supplement the general regulations above as applied to specific uses and activities:
1-53-6.1. Home occupations.
(a)
Purpose and intent. Some types of work can be conducted at home with little or no effect on the surrounding neighborhood. It is the intent of this section to allow the operation of home occupations as an accessory to the primary use in any residential dwelling unit. The following conditions are intended to allow residents to engage in a home occupation while ensuring that it does not become a detriment to the character and livability of the surrounding area.
(b)
General conditions for home occupations. The following conditions must be met and complied with by all operators of any home occupation.
(1)
Home occupations shall be conducted by a resident of the principal dwelling unit. A total of two employees or independent contractors who do not reside at the residential dwelling may work at the business. The business may have additional remote employees who do not work at the residential dwelling.
(2)
The principal use of the dwelling unit shall at all times during the conduct of the home occupation remain residential.
(3)
The home-based business may not conduct retail transactions at a structure other than the residential dwelling; however, incidental business uses and activities may be conducted at the residential property.
(4)
Any signage shall comply with section 1-56-7, Signage in residential and agricultural districts.
(5)
There shall be no exterior indication that the dwelling is being used for any purpose other than a residence, other than the allowed signage. Examples of prohibited alterations include, but are not limited to, construction of parking lots, paving of yards, or adding commercial-like lighting. In addition, all interior and exterior alterations must be properly permitted, as required.
(6)
All outside storage of materials used in connection with the home occupation must comply with section 1-58-94, Exterior storage, accessory structures and fences.
(7)
No equipment shall be used in connection with a home occupation which creates noise, vibration, glare, fumes, odors, electrical interference, or requires the storage or disposal of any corrosive, combustible, or other hazardous or flammable materials or liquids which are not typically incidental to a residential use.
(8)
Any operator of a home occupation must obtain, and keep current for as long as the home occupation is in operation, a business tax receipt from the Hendry County Tax Collector, also known as the "local business tax receipt".
(9)
The need for parking generated by the business may not be greater in volume than would normally be expected at a similar residence where no business is conducted. Vehicles and trailers used in connection with the business cannot be parked within the right-of-way, on or over a sidewalk, or on any unimproved surfaces at the residence. All parking of commercial vehicles must comply with section 1-53-6.11(e), Storage and/or parking of commercial vehicles.
Cross reference— Licenses, permits and business regulations, ch. 1-12.
1-53-6.2. Nonallowable residential units.
(a)
No recreational vehicle, boat, bus, shed or other similar thing shall be used as a permanent residence. A vehicle which is not designed as such shall not be used as a temporary or permanent residence.
(b)
No mobile home, recreational vehicle, bus, or other similar vehicle shall be used as an office, storage facility, shed, workshop, or shelter for livestock or pets.
1-53-6.3. Fences and walls.
(a)
Perimeter fences and walls may be permitted along property lines. Internal fences and walls are permitted in addition to perimeter fences and walls provided adequate provision is made for any easements. Permits are required for residential, commercial and industrial fences pursuant to LDC section 1-58-122.
(b)
No fence or wall in a residential district shall exceed six feet in height except by a variance. No fence or wall in a commercial or industrial zoning district shall exceed eight feet in height except by a variance. Fence height shall be measured from finished grade. If a retaining wall is required to achieve finished grade, then the fence shall be measured from the top of the retaining wall. In rear and side yards, the director has the discretion to allow a deviation in height where required to compensate for variations in grade or drainage.
(c)
No fence, wall or other structure or vegetation shall be permitted over 30 inches in height above the average road grade in a sight distance triangle. Such sight distance triangle shall consist of the area bounded by (i) the edge of pavement of a road (or the edge of an unpaved road), (ii) the edge of pavement of an intersecting road or driveway (or the edge of an unpaved road or driveway), and (iii) an imaginary line connecting the other two lines at points 25 feet from their intersection.
(d)
Fences and walls shall consist of, but shall not be limited to, the following conventional and traditional materials: Wood, concrete, brick, stucco, picket, basket weave, split rail, plank, panels, woven saplings, cast or wrought iron, chain link, PVC, or vinyl. A combination of these conventional and traditional materials may be permitted. Non-traditional materials, including but not limited to tires, wood pallets, plywood, hubcaps, etc., are prohibited. Fabric sheets or nets, or plastic, metal or vinyl sheets may not be used as part of the fence, except in commercial and industrial zoning districts for the purpose of required screening only and shall be maintained in good condition.
(e)
Fences and walls must be constructed to present the finished side of the fence or wall to the adjoining lot or any abutting right-of-way. Where there is an existing fence, wall or continuous landscape hedge on the adjoining parcel, this provision may be administratively waived upon written request.
(f)
Barbed wire fencing shall be allowed in agriculture zoning districts. Rural residential and rural residential farm zoning districts may have field fence, hog wire and/or barbed if farm animals are kept on the property. The use of three strands of barbed wire on top of a fence may be permitted in commercial and industrial zoning districts only when used for outdoor storage areas and/or security purposes.
(g)
Farm fences qualifying for the exemption from regulation in F.S. § 604.50 shall not be subject to the requirements and limitations set forth herein.
1-53-6.4. Churches. Churches and related facilities shall be permitted in any district by special exception. A special exception shall be granted upon a showing that the proposed church meets the following criteria:
(1)
The church property shall have direct access to a paved road or to a county-maintained road.
(2)
All structures used for worship, assembly, classrooms, dormitories, and recreation (but not including a parsonage or any utility buildings), and any outside play areas, must meet the setbacks as prescribed in the zoning district in which the church is located.
(3)
A parsonage may be permitted as an accessory to the church in those districts permitting dwelling units or where the church property exceeds five acres.
(4)
A mobile home may be used as a dwelling for clergy on the same premises as a church, provided that mobile homes are allowed as a permitted use in the zoning district in which the church is located, and provided that the mobile home meets all open space, setback and other requirements.
1-53-6.5. Community residential homes.
(a)
Purpose. This section is intended to provide reasonable standards and procedures for the development of community residential homes (also referred to as "group homes," "halfway houses," etc.) consistent with the requirements of F.S. ch. 419.
(b)
Minor community residential homes. Prior to the issuance of a certificate of occupancy, the operator of a minor community residential home or the owner of the property shall provide the community development director with a statement certifying that the use is in compliance with the restrictions set out in F.S. § 419.001(2), and in particular with the prohibition on the location of such a use within 1,000 feet of an existing minor community residential home. Failure to maintain licensure by the applicable state agency, failure to limit occupancy to six qualifying residents, and/or failure to meet the standards of F.S. § 419.001 or any standard of the county applicable to single-family dwellings shall result in the revocation of the certificate of occupancy and require the abandonment of the use.
(c)
Procedure for approval of community residential homes. An application for special exception shall be accompanied by the information identified in F.S. § 419.001(3)(a), including all information identified as being the responsibility of the applicable state agency. The community development director shall review the materials submitted and determine that the submission complies with the requirements of F.S. § 419.001 and with the requirements for multifamily development as set out in this chapter. In considering its action on the request, the LPA and the board of county commissioners shall, in addition to the requirements and standards for multifamily dwellings as set out in this code and in the comprehensive plan, consider the standards and provisions of F.S. § 419.001(3)(b) and (c) and F.S. § 419.001(4).
(d)
Revocation of certificate of occupancy for community residential home. After approval of a community residential home, failure to maintain licensure by the applicable state agency, failure to limit occupancy to 14 qualifying residents, and/or failure to meet the standards of F.S. § 419.001, or any standard of the county applicable to multifamily dwellings, shall result in the revocation of the certificate of occupancy and require the abandonment of the use.
1-53-6.6. Mobile homes.
(a)
Prerequisites for set-up and occupancy.
(1)
No person shall set up and/or use a mobile home on either a temporary or permanent basis, except as follows:
a.
No mobile home shall be occupied or used unless the site and the mobile home have been issued necessary permits, and the mobile home has been tied down as required by chapter 1-58 and connected to electricity, water (or an approved well), and sewer (or an approved septic system) subject to the provisions of chapter 1-58.
b.
No mobile home shall be occupied for more than 30 days or used unless skirting has been installed around the entire perimeter. Skirting shall consist of metal, plastic or wood material permanently attached, and may include completely opaque or semi-opaque material. Skirting shall be capable of limiting access to the underside of the unit, preventing uplifting of the unit from strong winds, and reducing visibility of the area beneath the unit.
c.
Units stored prior to delivery or set-up or displayed in a permitted sales lot need not be tied down and skirted, be connected to utilities or be occupied. However, permanent display units may be connected to utilities and occupied in connection with a permitted mobile home sales establishment.
(2)
Prior to the issuance of a site and set-up permit, a plot plan showing the proposed location of the mobile home and a letter from the county health department approving any proposed septic and well locations on that plot plan must be submitted to the building department. If the mobile home is to be hooked to a central sewage system, authorization from the operator of that system must be provided. The applicant shall provide evidence that the mobile home will not violate the provisions of chapter 1-55, article II of this code.
(b)
Relocation of mobile homes not meeting standards of manufacture. A mobile home not meeting the standards of manufacture set forth in the description of "mobile home" in section 1-53-2.2 shall not be moved into the county or relocated within the county for the purpose of occupancy and use except as follows:
(1)
Such a unit may be relocated from one space to another within an approved mobile home park.
(2)
Such a unit may be relocated within the same parcel or lot of record.
(3)
Such a unit may be relocated within the county, after inspection by the building official and or his designee. The building official shall require such repairs and improvements to the structure as are necessary for the structure to be a safe and habitable living unit.
(c)
Evidence of compliance; inspection.
(1)
For mobile homes less than five years old at the time a set-up permit is issued, the building official may accept the sticker affixed to the mobile home (pursuant to U.S. Department of Housing and Urban Development regulations, see section 1-53-2.2) as evidence of compliance with regulations applicable to the design and manufacture of the unit. If the building official has good cause to believe that the unit has been modified in any way, he shall require adequate documentation and/or an inspection to confirm that any modification is in compliance with applicable regulations. Such inspection shall be provided by the applicant at his cost and shall be made by a qualified inspector.
(2)
Before a set-up permit can be issued for a mobile home which was manufactured five or more years before the permit date, the mobile home shall be inspected by the county building department for structural integrity and defects. The building official may require that any defects found by the inspection be remedied prior to the issuance of a permit or he may deny a permit if the defects cannot be readily eliminated.
Nothing herein shall be deemed to modify any requirements of the building code or other applicable codes which apply to accessory structures, permanent structures adjacent or attached to the unit, or the attachment of the unit to the site or to permanent utilities.
(d)
Time limit for obtaining permits; removal by building official. An owner of a mobile home, the property owner or another interested person must obtain all necessary mobile home and site permits within three business days from the time a mobile home is placed on any premises within the county other than on a permitted mobile home sales or storage lot. In addition to other remedies provided by this code, the building official may enforce this subsection by causing a mobile home which has not obtained the necessary permits within three business days to be removed from the premises and stored under his control. The costs of removal and storage, as well as permit fees due, shall become a lien on the mobile home and shall be payable before its return from the control of the building official. Before taking control of and removing a mobile home under this subsection, the building official shall cause a notice of such intent to be posted on the mobile home for two business days prior to its removal, and shall attempt to notify the owner of the mobile home and the owner of the property, if either or both are reasonably ascertainable, by the most reasonable method available prior to the removal.
(e)
Penalty for failure to obtain permits. Any person who fails to obtain a set-up permit within 14 days from the time a mobile home is placed on any premises within the county, or who removes, causes to be removed, or transports from a site the tongue, the springs, the axles, or the wheels of a mobile home before the mobile home site and set-up permit has been obtained for that mobile home and site, shall be deemed to be in violation of this code and shall be subject to a civil fine of $500.00. This fine may be levied by the county code enforcement officer under the procedures set forth in chapter 1-51 of this code.
(f)
Permit fees. Mobile home site and mobile home permit fees shall be set by and may be amended by resolution of the board of county commissioners. The board may establish a fee schedule which sets lower permit fees for applicants who obtain all site and mobile home permits before moving the mobile home onto the site.
(g)
Importation of mobile homes over five years old.
(1)
Applicability. This section shall apply to the importation of all mobile homes of five years old into the county.
(2)
Regulations.
a.
Any person or entity bringing a mobile home over five years old into the county must ensure that the mobile home will meet or exceed all county building official inspection requirements.
b.
Prior to bringing any mobile home over five years old into the county, a person or entity must submit a deposit of $500.00 and sign an affidavit and agreement, in substantially the form attached [to Ordinance No. 98-11]; this affidavit and agreement may be amended by administrative order, as required to comply with inspection laws and regulations that may be revised in the future, by the county and the state. The $500.00 deposit will be refunded if the mobile home passes inspection or is removed from the county at the applicant's expense. If the mobile home does not pass inspection and is not removed from the county, the $500.00 inspection fee shall be forfeited to the county and used for the disposal of the mobile home.
c.
Implementation of this section shall be by the building official who shall take all administrative actions to implement same.
(h)
Joinder of homes not designed therefor prohibited. It shall be unlawful for any person or organization to join two mobile/manufactured homes together if such mobile/manufactured home is not specifically designed, engineered and constructed by the manufacturer for such purpose.
(i)
Use of modular/manufactured buildings for professional, commercial or storage purposes; conversion to residential use.
(1)
A modular/manufactured building may be used for professional, commercial, or storage purposes provided the subject structure meets standards set forth in the Florida Manufactured Buildings Act of 1979, F.S. ch. 553, pt. IV, and meets engineering and design criteria applicable to the purpose for which such structure is to be used, as determined by the building official or his designated agent.
(2)
Any modular/manufactured building being converted for use as a residential structure shall meet the minimum standards for base equipment and facilities as set forth in the current edition of the Standard Housing Code.
Editor's note— At the direction of the county, former section 1-13-5.1 has been transferred to this section as subsection (g); such section was derived from Ordinance No. 98-11, §§ 1 and 2, adopted November 24, 1998. Former section 1-13-14 has been transferred to this section as subsection (h); such section was derived from Ordinance No. 84-5, § 13, adopted October 9, 1994. Former section 1-13-16 has been transferred to this section as subsection (i); such section was derived from Ordinance No. 84-5, § 17, adopted October 9, 1984, as amended by Ordinance No. 85-2, § 2, adopted April 9, 1985.
Cross reference— Mobile home parks, § 1-53-6.9.
1-53-6.7. Agriculture in nonagriculturally zoned districts.
(a)
Whenever property is rezoned by this chapter or any amendment hereto, agricultural uses existing on the property at the time of rezoning may be continued.
(b)
For any parcel of land in the county, regardless of zoning, which is at least five acres in size, agricultural uses may be recommenced after discontinuance within three years after discontinuance.
(c)
In accordance with table 53-1, new agricultural uses may be initiated on parcels zoned residential/rural development (rr) which are at least five acres in size, upon the issuance of a special permit. The application for a special permit must be accompanied by a fee as established by the board of county commissioners.
(1)
Notification procedures.
a.
The community development director, upon receipt of an application and fee, shall provide notification of the application as follows:
1.
To the building official, county administrator, the county engineer, county attorney, and the county commissioner in whose district the subject property is situated.
2.
To persons owning land within 750 feet of the subject property by first class mail.
3.
By posting a conspicuous notice on the subject property.
b.
The notice shall clearly and conspicuously state that, unless an objection is filed with the community development director within 15 days from the date of the postmark of the letter received from the county, the director may issue a special permit in accordance with this section.
c.
If a written objection is received, the matter shall be presented to the county commission for final decision at a public hearing. Notice of the public hearing shall be sent to each person who has previously received written notice by first class mail no less than ten days prior to the hearing, and notice shall be published in a newspaper of general circulation within the county no less than five days prior to the hearing.
(2)
Criteria for granting or denial of permit. The county shall consider the following criteria in reviewing the application:
a.
The allowance of the proposed agricultural use does not create a common law nuisance in respect to odor, noise and health or environmental hazards.
b.
The proposed use is compatible with surrounding uses.
c.
The proposed use can meet all applicable setback requirements contained in the Land Development Code.
d.
The proposed use will not deny any landowner who received notification of the ability to use their land in accordance with the rules, criteria, and regulations contained in the Land Development Code.
(3)
Appeal to board of county commissioners.
a.
In the event the community development director denies a permit after an application is made hereunder, the applicant may, within 15 days, appeal the denial to the board of county commissioners by completing a form provided by the community development director.
b.
An appeal filed under this section shall be decided by the board of county commissioners after a public hearing in which notice has been sent to each person who has previously received written notice by first class mail no less than ten days prior to the hearing, and such notice has been published in a newspaper of general circulation within the county no less than five days prior to the hearing.
c.
At or after such public hearing, the board of county commissioners may grant a permit to the applicant, grant a permit with conditions or deny the application.
(d)
There shall be no restriction or incidental gardening or horticultural activities accessory to residential use.
(e)
Domestic animals for household use only may be kept on parcels of any size in the residential/rural development (RR) zoning district, provided that the number of animals on a parcel may not exceed the number set forth herein:
(f)
Except as allowed by this section, no animals, other than common household pets for personal, noncommercial use by the occupants of a residence, may be kept on premises in any residential zoning district within the county.
(g)
Animal care. The following shall apply to the keeping of domestic farm animals for household use in the RR and RR-F zoning districts:
(1)
All animals shall be properly confined on the property. Barns, pens, or shelters for domestic farm animals must be set back a minimum of 15 feet from all property lines, except barns, pens or shelters containing hogs must be set back a minimum of 25 feet from property lines. All barns, pens, and shelters must be located behind the front corners of the dwelling. Fowl or poultry may be free ranging with proper fencing designed to contain the animals within the property boundaries. Fencing for animal enclosures may include barbed wire.
(2)
All animals shall be fed, watered, and cared for in a humane and proper manner.
(3)
The keeping of animals shall not be done in a manner which creates a common law nuisance or a nuisance described in the Florida Statutes or this Code.
(4)
Animal waste shall not be allowed to remain on the premises in amounts which cause a health or environmental hazard.
(5)
The portions of the property not encumbered by barns, pens or shelters shall be stabilized with landscaping and/or natural ground cover.
1-53-6.7A. Animal pens and similar structures in residential zoning districts. Except for those premises on which agricultural activity is allowed by subsection 1-53-6.7(a), (b) or (c), no outside cage, kennel, pen or other structure for the containment of animals shall be allowed in a residential zoning district except as provided in this section.
(1)
In all residential zoning districts other than RR, a single fence to contain dogs and/or cats and a shelter not exceeding eight square feet of floor or ground area shall be allowed. On parcels in excess of two acres, barns are allowed [not exceeding] 160 square feet per additional acre, or fraction thereof. Cages are allowed [not exceeding] an additional 50 square feet per acre, or fraction thereof.
(2)
In the RR zoning district, a barn not exceeding 250 square feet, necessary fences, and cages not exceeding 50 square feet of floor area shall be allowed.
Cross reference— Animal control, ch. 1-5.
1-53-6.8. Automobile service stations. Within the districts permitting automobile service stations as special exceptions, the following requirements shall apply:
(1)
Location. The property on which either an automobile service station or a convenience store that offers gasoline or other automotive fuels for sale is located shall not be within 150 feet of any residential district or any property containing a school, public playground, church, hospital, public library or institution for children or dependents.
(2)
Site requirements. An automobile service station site shall have a minimum frontage on a public street of 120 feet and a minimum area of 12,000 square feet. All buildings shall be set back 40 feet and all canopies set back 15 feet from all street right-of-way lines.
(3)
Vehicular access to site. Vehicular entrances or exits at an automobile service station shall:
a.
Not be provided with more than two curb cuts for the first 120 feet of street footage or fraction thereof.
b.
Contain an access width along the curbline of the street of not more than 40 feet as measured parallel to the street at its narrowest point, and not have the closest edge of any access drive located less than 100 feet from a street intersection along any arterial or collector street, less than 50 feet from a street intersection on a local street, or less than ten feet from adjoining property.
c.
Not have any two driveways or curb cuts any closer together than 20 feet at the right-of-way line or at the curb or edge of the pavement along a single street.
d.
Have all gasoline pump islands set back at least 30 feet from the right-of-way lines. Where a future widening line has been established, the setback line shall be at least 60 feet from the centerline of the street.
(4)
Use limitations. Uses permissible at a service station shall not include major mechanical and body work, straightening of body parts, painting, welding, storage of automobiles not in operating condition, or other work involving noise, glare, fumes, smoke or other characteristics to an extent greater than normally found in service stations. A service station is not a repair garage or a body shop.
1-53-6.9. Mobile home parks.
(a)
General provisions. A mobile home park may be permitted within an RG-3M zoning district upon review of the zoning board and approval by the board of county commissioners. Said approval shall be subject to compliance with all applicable provisions of this section.
(b)
Application requirements. Any person or organization proposing the development and operation of a mobile home park within the county shall be required to submit a master plan for the proposed development for review and consideration in accordance with the provisions of section 1-51-6. Said master plan shall be submitted in such number of copies as may be required, and shall contain the following information:
(1)
The legal description and boundary data of the entire area for which approval is sought.
(2)
A scaled designed layout of the entire park as proposed, showing the location, size, and configuration of all proposed mobile home sites, including the configuration and size of all concrete slabs, vehicular parking spaces, utility connections, and such other improvements as may be proposed for individual sites; location of roadways serving said sites; the location of recreation and open space facilities; the nature and location of facilities for the collection and removal of garbage and trash; the type and location of proposed community facilities and/or services; the location, type and extent of all proposed buffering and landscaping; the nature and location of facilities for sanitary sewer and/or wastewater package treatment plant; proposed location, size, and nature of office facilities, and resident manager/caretaker dwelling; the location, nature, and size of accessory uses or structures as outlined in subsection (c)(10); proposed storage facilities for general storage of equipment; and any special facilities which may be required such as site drainage and retention areas.
(3)
Entrances and exits of mobile home parks shall be designed for safe and convenient movement of traffic into and out of the park and so as to minimize marginal friction with free movement of traffic on adjacent streets and highways. All traffic into and out of the park shall be through such entrances and exits. No entrance or exit shall require a turn at an acute angle for vehicles moving in the direction intended, and radii of curbs and pavement at intersections shall be such to facilitate easy turning movements for vehicles (with trailers attached). No material impediment to visibility shall be created or maintained which obstructs or obscures the view of an approaching driver in the right lane of a street or highway within 100 feet where the speed limit is 45 miles per hour or more, or any portion of the approach line of the accessway within 25 feet of its intersection with the righthand lane of the street or highway.
(4)
The name, address, and telephone number of the owner and/or his agent, who may be contacted concerning information relative to the proposed application for development and operation of the mobile home park.
(c)
Minimum site requirements. Unless otherwise specifically provided by the board of county commissioners, each mobile home park within the county shall meet or exceed all applicable provisions of this section, and particularly the following requirements:
(1)
Each mobile home park shall be located upon a lot having an area of not less than ten acres and a minimum frontage of 175 feet upon a public street or highway; provided that said required area shall be reduced to exclude land within dedicated rights-of-way or road easements of record which, together with the subject lot, comprise an area equal to a quarter of a quarter of a quarter of a land section.
(2)
All entrance and exit roadways serving a mobile home park shall be spaced a minimum distance of 50 feet apart as measured between centerlines of such roadways, and no said roadway shall be nearer than 125 feet to the intersection of two public streets or highways, as measured between the centerlines of the park roadway and the intersecting street or highway.
(3)
All entrance and exit roadways serving a mobile home park shall be directly served by a paved road of a dust-free Portland cement type concrete, or a plant-mix bituminous material, acceptable to the county engineer, and having a minimum width of 12 feet for one-way traffic, or a minimum width of 24 feet where two-way traffic is proposed.
(4)
All mobile home sites shall be directly served by a paved road of a dust-free Portland cement type concrete, or a plant-mix bituminous material, acceptable to the county engineer, and having a minimum width of 12 feet for one-way traffic, or a minimum width of 24 feet where two-way traffic is proposed. The board of county commissioners may permit or require variations from this width requirement, based upon the particular design and means of vehicular circulation proposed. An additional vehicular parking area shall be provided for guest parking at a convenient location within the park, providing parking facilities at a ratio of one guest parking space for each two mobile home sites to be developed, and shall be stabilized with the same material as the roadway.
(5)
A minimum of eight percent of the gross site area of the mobile home park shall be set aside and developed as common use areas for open or enclosed recreation facilities. No mobile home site, required buffer strip, roadway, storage area, or utility easement shall be counted as meeting recreational purposes. Recreation areas and facilities shall be properly maintained and operated by the park management.
(6)
Adequate lighting shall be provided throughout the park in a manner and at such locations as to be consistent with the Hendry County lighting policy.
(7)
Each mobile home site shall have proper connection for water, sewage, and electrical service, provided by an underground utility service.
(8)
Each mobile home site shall contain a designated area for the parking of two automobiles.
(9)
Where appropriate, a utility easement shall be provided along the front and side of each mobile home site. Such easement shall not be less than ten feet in width along the front and not less than five feet along each side. No permanent structures other than pedestrian ways, benches, recreational facilities, picnic areas and lighting systems shall be located in such utility easement, and permitted structures shall be located so as not to impede maintenance of the underground utility facilities. All utilities shall be located within such easements, or in easements adjacent to roadway pavements or in buffer areas.
(10)
Management headquarters, recreation facilities, coin-operated laundry facilities, and other uses and structures customarily incidental to the operation of a mobile home park may be permitted as accessory uses to the park.
(11)
Each mobile home park shall be provided with central facilities for the washing and drying of clothes, unless otherwise provided by the board of county commissioners.
(12)
A landscape buffering not less than 20 feet in width shall be provided along public streets or highways and along all boundaries of a mobile home park. Said buffer strip may be used for drainage structures and utility easements, but shall not be used for any other purpose.
(13)
The intent of landscaping a mobile home park is to preserve the natural character of the site. Mobile home parks shall provide an equivalent of one tree per mobile home site in addition to the required landscape buffering. Trees shall be of sufficient maturity to have a minimum of a ten-foot crown height and a four-inch base or trunk. Existing trees left intact and undisturbed by development of the mobile home park shall be counted toward the one tree per site requirement.
(14)
In general, a mobile home park shall provide suitable accommodations for all necessary functions, including off-street parking or loading, and no use of a public street or a required buffer area shall be utilized for any said purpose at any time.
(15)
The owner and/or developer of a mobile home park which is fully or partially within a designated flood hazard area as identified by the federal insurance rate map (FIRM) dated May 17, 1982, shall provide the county with base flood information as may be specified, and which includes the minimum first-floor elevation above a 100-year flood level for any and all permanent residences and other structures within the park. When said park, or portion of said park, is within a designated flood hazard area, the site plan shall include a statement attesting that the elevation has been established and certified by a licensed professional engineer registered in the state, and that his calculations are based on the 100-year flood level. In the event that the South Florida Water Management District has reviewed and approved the base flood elevation data for the property, or if the base flood information has been provided by any other state or federal agency, such information shall be sufficient to satisfy this requirement.
(16)
Unless otherwise provided by the board of county commissioners, a central storage area shall be provided for the storage of major recreational equipment, such a travel trailers, camping equipment, boats and the like; any said equipment shall be permitted only in such designated area of the mobile home park. No piece of major recreation equipment parked in the storage area shall be used for human habitation. The storage area shall be adequately buffered with obscuring type fencing and plant material, so as to screen its view from all adjacent streets, and from the mobile home sites within the park. The type of planting material shall be shown on the plan.
(d)
Sanitation requirements. Each mobile home site shall be provided with at least one garbage container of not less than 20-gallon capacity, so located as to be obstructed from view from the roadways within and without the park. Park management shall be strictly responsible for internal trash and garbage collection. Central park collection points, such as dumpsters, shall be completely screened from public view from within the park. The developer and/or owner shall submit to the director of development, at the time of application, copies of signed agreements with a licensed refuse hauler stating an agreement for service, the length of time for continued service, and at what regular intervals trash and garbage will be picked up by the hauler.
(e)
Park design. Designers of mobile home parks shall utilize contemporary design practices, and shall avoid monotonous and obsolete rectilinear or herringbone design for layout of mobile home sites.
(f)
Procedures for development and operation. Upon receiving approval, or approval with conditions, from the board of county commissioners, the applicant or owner may proceed with development of a mobile home park, subject to all permit requirements of the county and other governmental units having jurisdiction. After all required improvements have been completed for a park, or an improved unit of a park, a building and engineering inspector shall conduct a final inspection and shall confirm in writing to the community development director that said improvements have been completed. The community development director shall then approve the mobile home park for occupancy and issue an appropriate occupancy permit to the owner or operator. Until a park has received an occupancy permit, no mobile home shall be placed therein.
(g)
Installation and occupancy of mobile homes. No mobile home shall be installed or occupied within a mobile home park until and unless there has been full compliance with the provisions of all applicable ordinances and regulations of the county.
(h)
Compliance with requirements of other jurisdictions. In addition to the requirements of this section, mobile home parks shall meet the requirements of all other governmental units having jurisdictional control over park development and operation, including but not limited to the division of health of the state department of health and rehabilitative services, and the state division of motor vehicles. To the fullest extent possible, the review of mobile home park proposals under this section will be coordinated with similar review of other governmental units having jurisdiction, but it shall remain the responsibility of the applicants to obtain all necessary approvals and permits from said government units.
(i)
Expansion or modification of existing parks. Whenever an expansion or modification of an existing mobile home park is proposed, plans shall be submitted and reviewed in the same manner as plans for new parks. Such plans shall comply with all of the standards, requirements, and improvements for new parks, and the existing park shall be upgraded to standards for new parks.
Cross reference— Zoning regulations for mobile homes, § 1-53-6.6.
1-53-6.10. Recreational vehicle parks.
(a)
A recreational vehicle park shall be exclusively for recreational use by persons with transportable recreational housing, with appropriate accessory uses and structures. The land on which it is developed shall be under unified control and shall be planned and developed as a whole in a single development operation or programmed series of development operations for recreational vehicles and related uses and facilities. Subsequent subdivision of lots or conveyance of sites to individual owners by any means is prohibited without the express approval of the board of county commissioners (as established in the special exception). The principal and accessory uses and structures shall be substantially related to the character of the development.
(b)
The board of county commissioners may permit convenience establishments for the sale or rental of supplies or for provision of services for the satisfaction of daily or frequent needs of campers within a recreational vehicle park. These establishments may provide groceries, ice, sundries, bait, fishing equipment, self-service laundry equipment, bottled gas, and other similar items needed by users of the park. These establishments shall be designed to serve only the needs of the campers within the park and shall not, including their parking areas, occupy more than five percent of the area of the park, and shall not be so located as to attract patronage from outside the grounds, nor have adverse effects on surrounding land uses.
(c)
Following are site requirements for a recreational vehicle park:
(1)
The minimum land area for a recreational vehicle park shall be eight acres.
(2)
The maximum density for a recreational vehicle park shall be 18 spaces per gross acre. Storage spaces shall be included in the density calculation.
(3)
Individual spaces shall have access from internal streets and shall not have direct access from adjoining public rights-of-way.
(4)
Not less than eight percent of the area of the recreational vehicle park shall be devoted to recreation. The recreation area may include space for common walkways and related landscaping in block interiors, provided that the common open space is at least 20 feet in width. At least half of the total required recreation area shall be comprised of facilities for active recreation, such as swimming pools or beaches, ballfields, shuffleboard courts, or play lots for small children. These facilities shall be so located as to be readily available from all spaces, and free from traffic hazards.
(5)
Recreational vehicle spaces shall be located within 300 feet by normal pedestrian routes of toilet, washroom, and bath facilities.
(6)
Individual recreational vehicle sites shall have a minimum area of 1,500 square feet and a minimum width of 30 feet. For "park models," the minimum area shall be 3,200 square feet and the minimum width shall be 40 feet.
1-53-6.11. Off-street parking, loading and unloading requirements.
(a)
Area and dimensions. Any off-street parking space shall have dimensions of ten feet in width and 20 feet in depth, exclusive of the area required for access drives or aisles. A parallel parking space shall have dimensions of eight feet in width and 20 feet in depth. Each parking space shall have four feet of additional depth for maneuvering purposes. These areas are exclusive of the area required for access drives or aisles.
(b)
General requirements and specifications.
(1)
Entrances and exits. Each parking space shall be directly accessible from a street, alley, or other public right-of-way. Except for one- or two-family dwellings, all off-street parking facilities shall be so arranged that no automobile shall have to back into any street. No entrance and exit driveways shall be permitted closer than 25 feet from a street intersection, and no parking area containing more than ten spaces shall have more than one accessway to any adjacent street for every 100 total linear feet of the boundary line adjacent to said street.
(2)
Traffic areas and aisle width.
a.
Adequate traffic areas for vehicles entering from or waiting to exit to adjacent streets. Each off-street parking area shall provide adequate traffic areas for vehicles entering from or waiting to exit [to] adjacent streets and adequate storage areas for any drive-in facilities located on the premises. The traffic and storage areas provided herein shall be so designed that vehicles waiting or maneuvering in these areas will not interfere with or hinder traffic into or out of the area or vehicles pulling into or out of spaces within the area.
b.
Aisle widths. All off-street parking areas providing four or more parking spaces shall be constructed with aisle widths with the following minimum dimensions, based upon the angle of the parking stall to the access aisle.
Aisles shall be 22 feet in width when not designed to serve a particular parking configuration or when designed to serve parallel parking. The minimum width for a one-way driveway aisle within the parking area shall be 12 feet, and 22 feet for a two-way driveway aisle.
(3)
Surface material and drainage. Except for one- and two-family dwellings, and uses permitted in industrial use districts, all off-street parking facilities including access aisles, driveways, and maneuvering areas shall be either paved or surfaced with a hard, dustless material. Such surfacing shall be maintained in good condition at all times. All off-street parking facilities shall be suitably sloped and drained.
(4)
Location. The following locational standards shall be used in providing required off-street parking facilities:
a.
Parking spaces: Located on the same site it serves or on land within 300 feet from the site as measured along the nearest pedestrian route.
b.
Loading and unloading spaces: Located in the building or on same site as principal structure.
(5)
Setbacks. All off-street parking areas shall be set back a minimum of ten feet from the front property line and two feet from the side and rear property lines.
(6)
Handicap parking space requirements. Handicap parking spaces shall be provided as required by the Accessibility Requirements Manual issued by the state department of community affairs.
(c)
Exceptions or modifications. In case of mixed uses, the total requirements for off-street parking shall be the sum of the requirements of the various uses computed separately and off-street parking for [a] use shall not be considered as providing the required off-street parking for any other use. Where a greater number is not elsewhere required in this regulation, each and every separate and individual store, office or other business shall be provided with at least one off-street parking space.
(d)
Requirements for off-street parking. There shall be provided, at the time of construction, enlargement or increase in capacity, minimum off-street parking spaces in accordance with the following requirements:
_____
_____
The inclusion of on-street parking spaces shall not be allowed in meeting the parking space requirements for the uses listed in this section.
(e)
Storage and/or parking of commercial vehicles.
(1)
Commercial vehicles shall not be parked or stored in a residential zoning district, except in accordance with the following:
a.
One commercial vehicle per parcel in a residential zoning district with an area of less than two acres is permitted. Parcels in a residential zoning district with an area of two or more acres may contain no more than two commercial vehicles.
b.
The parking area must be:
1.
Sufficient in size to support the commercial vehicle,
2.
Connected to a driveway, and
3.
Comprised of one of the following materials:
i.
Concrete,
ii.
Asphalt,
iii.
Crushed shell,
iv.
Rock,
v.
Other material if approved by the community development director or designee.
c.
Vehicles must be completely contained within the property lines without obstructing sight triangles. Such sight distance triangle shall consist of the area bounded by: (i) the edge of pavement of a road (or the edge of an unpaved road), (ii) the edge of pavement of an intersecting road or driveway (or the edge of an unpaved road or driveway), and (iii) an imaginary line connecting the other two lines at points 25 feet from their intersection.
d.
A commercial vehicle used for hauling explosives, gasoline or liquefied petroleum products may be parked or stored if more than 100 feet from an adjacent residential property line.
e.
As an alternative to the requirements above, commercial vehicles or trailers may be stored inside an enclosed garage which meets the setback requirements of the zoning district. No stored vehicle may be used as a dwelling unit.
f.
Commercial vehicles must be accessory to an established, legal residential use and owned by someone residing on the property.
(2)
The provisions of this section do not apply to vehicles that do not meet the definition of commercial vehicles in section 1-53-2.2 of the Land Development Code.
(3)
Travel trailers, hauling trailers or boat trailers designed to be hauled by automobiles shall be permitted if parked or stored behind the front setback line, but such equipment shall not be used for living purposes.
(f)
Loading and unloading areas.
(1)
Whenever the normal operation of any development requires that goods, merchandise, or equipment be routinely delivered to or shipped from that development, sufficient off-street loading and unloading areas must be provided in accordance with this section to accommodate the delivery or shipment operations in a safe and convenient manner.
(2)
The loading and unloading area must be of sufficient size to accommodate the numbers and types of vehicles that are likely to use this area, given the nature of the development in question. The following table indicates the number and size of spaces that, presumptively, satisfy the standard set forth in this subsection. However, the permit-issuing authority may require more or less loading and unloading area if reasonably necessary to satisfy the foregoing standard.
*Minimum dimensions of 12 feet by 45 feet and overhead clearance of 14.5 feet from street grade required.
(3)
Loading and unloading areas shall be so located and designed that the vehicles intended to use them can (i) maneuver safely and conveniently to and from public right-of-way, and (ii) complete the loading and unloading operations without obstructing or interfering with any public right-of-way or any parking space or parking lot aisle.
(4)
No motor vehicles, travel trailers, hauling trailers, boat trailers, etc., shall be parked in a residential zoning district without a primary residence on the property.
Cross reference— Motor vehicles and traffic, ch. 1-14.
1-53-6.12. Auto salvage/junkyards and abandoned property.
(a)
No junk or abandoned property shall be kept or stored except at an auto salvage yard or junkyard approved as provided in this code.
(b)
No auto salvage or junkyard shall be operated except with all necessary permits required by the state or other governmental agencies.
(c)
No outside storage of junk shall take place within 75 feet of a property line or within 200 feet of a lot line lying in a residential district. All such storage areas shall be screened from any residential or C-1 zoned property by a fence or wall not less than eight feet high, supplemented by a landscaping strip not less than 12 feet in width. Such landscaping and wall may be waived if existing vegetation lying between the storage area and the property line is sufficient to completely block the view of the storage area from the property line.
(d)
Processing of junk (including but not limited to disassembly of vehicles or other items, sorting, operation of cutting torches or compactors or other similar activities) shall not take place within 300 feet of a property line in a residential district, and may be restricted as to hours of operation.
(e)
In any area zoned residential or commercial, no grass, weeds, underbrush, or undergrowth shall be permitted to grow higher than 12 inches above existing grade level on any lot or parcel within 500 feet of any improved residential lot. This restriction shall not apply to trees, shrubs, or hedges.
(f)
In addition to the enforcement remedies available under chapter 1-51, the building, licensing and code enforcement director may, after giving notice of violation, have the lot or parcel mowed or cleared, the cost of which shall be assessed to the property owner, and shall become a lien on the property until paid.
(g)
Auto salvage/junkyards are not permissible on lots that are located at intersections along collector and arterial roadways.
Cross reference— Abandoned property, § 1-10-16 et seq.; motor vehicles and traffic, ch. 1-14; special acts relating to junkyards, § 2-6-66 et seq.
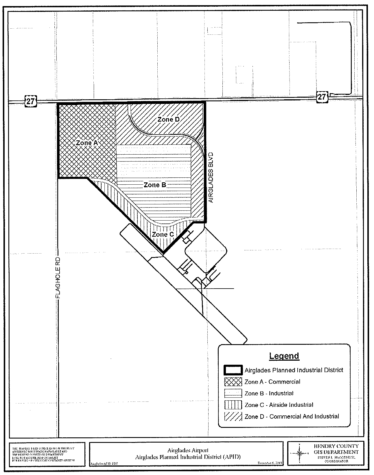
1-53-6.13. Airports.
(1)
Purpose and findings. The purpose of this section is to establish standards of heights and land uses to prevent the creation of hazards to air navigation or which would impair the utility and capacity of Airglades Airport and LaBelle Airport. This section creates specific land use limitations and establishes procedures for their orderly administration and enforcement.
It is hereby found that an obstruction to navigable airspace has the potential for endangering the lives and property of users of the Airglades Airport and the LaBelle Airport and property or occupants of land in their vicinities: That an obstruction may affect existing and future instrument approach minimums of the Airglades Airport and the LaBelle Airport; and that an obstruction may reduce the size of areas available for the landing, take off, and maneuvering of aircraft, thus tending to destroy or impair the utility of the Airglades Airport and the LaBelle Airport and the public investment therein. Accordingly, it is declared that:
a.
The Airglades Airport and the LaBelle Airport fulfill an essential community purpose;
b.
The creation, establishment or maintenance of an obstruction and the incompatible use of land in the airport vicinity are public nuisances and injure the community served by the Airglades Airport and the LaBelle Airport;
c.
It is necessary in the interest of the public health, public safety, and general welfare that the creation, establishment or maintenance of obstructions that are a hazard to air navigation be prevented;
d.
The prevention of these obstructions should be accomplished, to the extent legally possible, by the exercise of the police power without compensation;
e.
Promoting land uses compatible with the existing and future operations of the airports serves to protect the public investment in the airports and promotes a more livable community in the vicinity of the Airglades Airport and the LaBelle Airport;
f.
The establishment of noise sensitive developments in the vicinity of the Airglades Airport and the LaBelle Airport have the potential of limiting the existing and future utility of the airports and may adversely affect the region served by the airports; and
g.
The construction of certain noise sensitive developments in the vicinity of the Airglades Airport should include outdoor-to-indoor noise attenuation features so as not to be incompatible with existing and future noise levels.
(2)
Definitions:
a.
The definitions in F.S. § 333.01 are hereby adopted by reference and said definitions shall govern any word or phrase used herein that is defined in said statute.
b.
Other definitions:
Airport height/established airport elevation means the officially designated elevation of an airport as reflected on the airport layout plan.
DNL means a noise metric which describes an average day/night sound level. The DNL metric is used by the FAA to quantify aircraft noise exposure in the vicinity of an airport.
TERPS means the United States Standard for Terminal Instrument Procedures (TERPS) prescribes the criteria for the formulation, review, approval and the publishing of procedures for IFR (Instrument Flight Rules) operations to and from civil and military airports. TERPS criteria specify the minimum measure of obstacle clearance that is considered by the FAA to supply a satisfactory level of vertical protection from obstructions and are predicated on normal aircraft operations.
TERPS zone means area on ground, which falls within the extents of the Terminal Instrument Procedures surface.
Zones: Approach zone means area on ground, which falls within the extents of the C.F.R. 14, Part 77 Obstruction Identification Surface — Approach Surface.
Zones: Conical zone means area on ground, which falls within the extents of the C.F.R. 14, Part 77 Obstruction Identification Surface — Conical Surface.
Zones: Horizontal zone means area on ground, which falls within the extents of the C.F.R. 14, Part 77 Obstruction Identification Surface — Horizontal Surface.
Zones: Primary zone means area on ground, which falls within the extents of the C.F.R. 14, Part 77 Obstruction Identification Surface — Primary Surface.
Zones: Transitional zone means area on ground, which falls within the extents of the C.F.R. 14, Part 77 Obstruction Identification Surface — Transitional Surface.
(3)
The following zones and airspace height limitations shall apply to areas identified herein:
a.
In order to carry out the provisions of this section, there are hereby created and established certain zones which include all of the land lying beneath the airspace surfaces as identified in Title 14 Code of Federal Regulations (CFR) Part 77, namely, primary, horizontal, conical, approach and transitional surfaces and TERPS as they apply to a particular airport. These zones in addition to other areas defined in subsections b.1 thru 8 comprise the Airport Hazard Area. Such zones are shown on the LaBelle Airport and Airglades Airport, Airport Protection Zoning Maps (Exhibit A and Exhibit B, respectively), which are attached to the ordinance codified in this section and made a part hereof.
b.
An area located in more than one of the described zones is considered to be only in the zone with the more restrictive height limitation. The various zones are hereby established as follows:
in Title 14 Code of Federal Regulations (CFR) Part 77 — Plan View
Title 14 CFR Part 77 Surfaces — Isometric View
1.
Primary zone. The primary zone is the area under the primary surface which is described as an area longitudinally centered on a runway extending 200 feet beyond each end of that runway with the width so specified for each runway for the most precise approach existing or planned for either end of the runway. No structure or obstruction will be permitted within the primary zone that is not part of the landing and takeoff area and is of a greater height than the nearest point on the runway centerline. The width of the primary zone is as follows:
i.
LaBelle Airport.
Existing/Future Runway 14/32: 500 feet.
ii.
Airglades Airport.
(a)
Existing/Future Runway 13/31: 1,000 feet.
(b)
Future Runway 18/36: 1,000 feet.
The width of the primary zone of a runway will be that width prescribed in this section for the most precise approach existing or planned for either end of that runway based on the latest approved airport layout plan.
2.
Horizontal zone. The horizontal zone is the area under the horizontal surface which is described as the area around each civil airport with an outer boundary, the perimeter of which is constructed by swinging arcs of specified radii from the center of each end of the primary zone of each airport's runway and connecting the adjacent arcs by lines tangent to those arcs. The radius of each arc is:
i.
LaBelle Airport.
Existing/Future Runway 14/32: 10,000 feet.
ii.
Airglades Airport.
(a)
Existing/Future Runway 13/31: 10,000 feet.
(b)
Future Runway 18/36: 10,000 feet.
The radius of the arc specified for each end of a runway will have the same arithmetical value. That value will be the highest composite value determined for either end of the runway. When a 5,000-foot arc is encompassed by tangents connecting two adjacent 10,000-foot arcs, the 5,000-foot arc shall be disregarded for construction on the perimeter of the horizontal zone. No structure or obstruction will be permitted in the horizontal zone that has a height greater than 150 feet above the airport height.
3.
Conical zone. The conical zone is the area under the Conical Surface which is described as the area extending outward from the periphery of the horizontal zone for a horizontal distance of 4,000 feet. Height limitations for structures in the conical zone are 150 feet above airport height at the inner boundary with permitted height increasing one foot vertically for every 20 feet of horizontal distance measured outward from the inner boundary to a height of 350 feet above airport height at the outer boundary.
4.
Approach zone. The approach zone is the area under the Approach Surface which is described as an area longitudinally centered on the extended runway centerline extending outward from each end of the primary surface. An approach zone is designated for each runway based upon the type of approach available or planned for that runway end.
i.
The inner edge of the approach zone is the same width as the primary zone and it expands uniformly to a width of:
(a)
LaBelle Airport.
Existing/Future Runway 14/32: 3,500 feet.
(b)
Airglades Airport.
(1)
Existing/Future Runway 13/31: 4,000 feet.
(2)
Future Runway 18/36: 16,000 feet.
ii.
The approach surface extends for a horizontal distance of:
(a)
LaBelle Municipal Airport.
Existing/Future Runway 14/32: 10,000 feet.
(b)
Airglades Airport.
(1)
Existing/Future Runway 13/31: 10,000 feet.
(2)
Future Runway 18/36: 10,000 feet (for inner approach) plus an additional 40,000 feet (for outer approach).
iii.
The outer width of an approach zone to an end of a runway will be that width prescribed in this subsection for the most precise approach existing or planned for that runway end.
iv.
Permitted height limitation within the approach zones is the same as the runway end height at the inner edge and increases with horizontal distance outward from the inner edge as follows:
(a)
LaBelle Airport.
Existing/Future Runway 14/32: Permitted height increases one foot vertically for every 34 feet horizontal distance.
(b)
Airglades Airport.
(1)
Existing/Future Runway 13/31: Permitted height increases one foot vertically for every 34 feet horizontal distance.
(2)
Future Runway 18/36: Permitted height increases one foot vertically for every 50 feet horizontal distance for the inner 10,000 feet of the approach surface and every one foot vertically for every 40 feet horizontal distance for an additional 40,000 feet.
5.
Transitional zone. The transitional zone is the area under the transitional surface which is described as the area extending outward from the sides of the primary zones and approach zones connecting them to the horizontal zone. Height limits within the transitional zone are the same as the primary zone or approach zone at the boundary line where it adjoins and increases at a rate of one foot vertically for every seven feet horizontally, with the horizontal distance measured at right angles to the runway centerline and extended centerline, until the height matches the height of the horizontal zone or conical zone or for a horizontal distance of 5,000 feet from the side of the part of the precision approach zone that extends beyond the conical zone.
6.
TERPS zone. TERPS zone is the area described under the TERPS departure surface. Structures shall not intrude into the departure surface, which is a trapezoid shape that begins at the end of the Takeoff Distance Available and extends along the extended runway centerline and with a slope of 1 foot vertically for every 40 feet horizontally (40:1). The inner width of this zone is 1,000 feet and the outer width is 6,466 feet. The surface widens at an angle of 15 degrees as it extends outwards along the runway centerline away from the runway end as shown in the graphic below, depicted by the unshaded trapezoidal shape. Guidance on design for establishment of runway thresholds and departure ends is based on a detailed analysis considering the requirements of Order 8260.3. United States Standards for Terminal Instrument Procedures (TERPS). Departure surfaces, when clear, allow pilots to follow standard departure procedures.
7.
Other areas. In addition to the height limitations imposed in subparagraphs b.1 through 6 above, no structure or obstruction will be permitted within the county that would cause a minimum obstruction clearance altitude, a minimum descent altitude, a decision height or a minimum vectoring altitude to be raised.
8.
Other restrictions. In addition to the height limitations imposed in subparagraphs b.1 through 7 above, the Federal Aviation Administration (FAA) may issue a determination of hazard to air navigation for obstructions. In order to determine if the proposed construction or alteration of structures is an obstruction requiring an airspace evaluation by the FAA and if FAA needs to be notified regarding the proposed development, the FAA's Notice Criteria Tool should be used. This tool can be found at the FAA's Obstruction Evaluation/Airport Airspace Analysis (OE/AAA) website: https://oeaaa.faa.gov/oeaaa/external/portal.jsp.
If any part of the proposed construction or alteration is identified as exceeding notice criteria, a formal airspace analysis request must be filed with the FAA via the OE/AAA site. CFR Part 77.9 states that notice must be filed with the FAA if requested by the FAA when anyone proposes any of the following types of construction or alteration:
(a)
Any construction or alteration exceeding 200 feet above ground level.
(b)
Any construction or alteration that exceeds an imaginary surface extending outward and upward at any of the following slopes:
i.
One hundred to one for a horizontal distance of 20,000 feet from the nearest point of the nearest runway of each airport described in 14 CFR 77.9(d) with its longest runway more than 3,200 feet in actual length, excluding heliports.
ii.
Fifty to one for a horizontal distance of 10,000 feet from the nearest point of the nearest runway of each airport described in 14 CFR 77.9(d) with its longest runway no more than 3,200 feet in actual length, excluding heliports.
iii.
Twenty-five to one for a horizontal distance of 5,000 feet from the nearest point of the nearest landing and takeoff area of each heliport described in 14 CFR 77.9(d).
(c)
Any highway, railroad or other traverse way for mobile objects, of a height which, if adjusted upward as defined in 14 CFR 77.9(c) would exceed a standard of 14 CFR 77.9 (a) or (b).
(d)
Any construction or alteration located on an airport described in 14 CFR 77.9(d).
(4)
Land use restrictions.
a.
Use restrictions. Notwithstanding any other provision of this section, no use may be made of land or water within any zones established by this section in such a manner as to interfere with the operation of an airborne aircraft. The following special requirements shall apply to each permitted use:
1.
All lights or illumination used in conjunction with street, parking, signs or use of land and structures shall be arranged and operated in such a manner that it is not misleading or dangerous to aircraft operating from a public airport or in the vicinity thereof.
2.
No operations of any type shall produce smoke (except for agriculture burning operations permitted by the Florida Division of Forestry), glare or other visual hazards within three statute miles of any usable runway of a public airport.
3.
No operations of any type shall produce electronic interference with navigation signals or radio communication between the airport and aircraft.
4.
Land uses are prohibited or restricted due to noise considerations as detailed in subsection 1-53-6.13(5).
5.
No new landfills are allowed, and existing landfills are restricted from growth within 10,000 feet from the nearest point of any runway used by turbine engines (used or planned) or within 5,000 feet from the nearest point of any runway used by non-turbine aircraft. If a landfill is proposed outside the perimeters defined above, but still within the lateral limits of the civil airport imaginary surfaces defined in 14 CFR s 77.19 and the airport hazard area, a case by case review of such landfills will be conducted. In addition, if a landfill is located and constructed in a manner that attracts or sustains hazardous bird movements from feeding, water or roosting areas into, or across, the runways or approach and departure patterns of aircraft, then the landfill operator must incorporate bird management techniques or other practices to minimize bird hazards to airborne aircraft.
6.
New incompatible land uses, activities, or substantial modifications to existing incompatible land uses within runway protection zones (RPZs) are prohibited. These incompatible land uses include:
i.
Buildings and structures (including, but not limited to, residences, schools, churches, hospitals or other medical care facilities, commercial/industrial buildings, etc.).
ii.
Recreational land uses (including, but not limited to, golf courses, sports fields, amusements parks, other places of public assembly, etc.).
iii.
Transportation facilities (including, but not limited to, rail facilities (light or heavy, passenger or freight), public roads/highways, vehicular parking facilities).
iv.
Fuel storage facilities (above or below ground).
v.
Hazardous material storage (above or below ground).
vi.
Wastewater treatment facilities.
vii.
Above ground utility infrastructure (including, but not limited to, electrical substations and any type of solar panel installations).
Moreover, construction in a RPZ which does not exceed airspace height restrictions is not conclusive that such use, activity, or construction is compatible with airport operations.
b.
Nonconforming uses. The airport protection zoning regulations adopted herein will not require the removal, lowering, or other change or alteration of any obstruction not conforming to the regulations when these regulations were adopted or amended, or otherwise interfere with the continuance of any existing nonconforming use except as provided in subsections (6)a, b and d. Inasmuch as the county has had an airport zoning ordinance for many years, which has been amended over time, nonconforming status shall be determined based on the ordinance in effect when the obstruction was placed or altered. It is the Board's intent that the ordinance in effect on May 11, 1995, has been only amended and not repealed.
c.
Hazard Marking and Lighting. Notwithstanding the preceding provisions of this section, the owner of any structure over 200 feet above ground level within the jurisdiction of the County, except for the Big Cypress Seminole Indian Reservation, is required to install, operate, and maintain thereon, at his or her own expense, marking and lighting in accordance with FAA Advisory Circular 70-7460 and amendments thereto on such structure. Additionally, high-intensity white obstruction lights shall be installed on a high structure which exceeds 700 feet above ground level. The high-intensity white obstruction lights must be in accordance with FAA Advisory Circular 70-7460 and amendments thereto. The owner is required to install, operate, and maintain thereon, any such marking and lighting at his or her own expense.
(5)
Noise standards.
Aircraft Noise Control Zones: Aircraft Noise Control Zones are established as follows:
a.
LaBelle Airport. Educational facilities, with the exception of aviation school facilities, are prohibited on lands within 2,627 feet on either side of and at the end of the runway centerline. Refer to Exhibit C, Noise Control Zone, which is attached to the ordinance codified in this section and made a part hereof.
b.
Airglades Airport. Any lands under the noise contours (greater than or equal to 65 DNL) shall be considered a part of the Aircraft Noise Control Zone. Refer to Exhibit D, Noise Contours, which is attached to the ordinance codified in this section and made a part hereof. Within the Aircraft Noise Control Zones for Airglades Airport, the following land use restrictions and sound level reductions apply:
Land-Use Compatibility with Yearly Day-Night Average Sound Levels
(See Key and Notes for Table Below)
Key for Table:
Y (Yes) = Land use and related structures compatible without restrictions, or with the restrictions set forth in a numbered footnote.
N (No) = Land use and related structures are not compatible and should be prohibited, unless mitigative measures are taken as set forth in a numbered footnote.
NLR = Noise level reduction (outdoor to indoor) to be achieved through incorporation of noise attenuation into the design and construction of the structure.
25, 30, or 35 = Land use and related structures generally compatible: Measures to achieve NLR of 25, 30, or 35 dB must be incorporated into design and construction of structure.
Notes for Table:
(1)
For transient lodgings, measures must be incorporated to achieve outdoor to indoor NLR of at least 25 dB within the 65—70 and 70—75 yearly DNL sound levels and 30 dB for areas in excess of the 75 yearly DNL sound level. These measures include, but are not limited to, mechanical ventilation and closed windows year-round.
(2)
Measures to achieve NLR 25 dB must be incorporated into the design and construction of portions of these buildings where the public is received, office areas, noise sensitive areas or where the normal noise level is low.
(3)
Measures to achieve NLR of 30 dB must be incorporated into the design and construction of portions of these buildings where the public is received, office areas, noise sensitive areas or where the normal noise level is low.
(4)
Measures to achieve NLR 35 dB must be incorporated into the design and construction of portions of these buildings where the public is received, office areas, noise sensitive areas or where the normal level is low.
(5)
Land use compatible provided special sound reinforcement systems are installed.
(6)
Residential buildings require an NLR of 25.
(7)
Residential buildings require an NLR of 30.
(8)
Residential buildings not permitted.
(6)
Permits and requirements.
a.
A person proposing to construct, alter, or allow an airport obstruction in an airport hazard area in violation of the airport protection zoning regulations adopted herein must apply for a permit. A permit may not be issued if it would allow the establishment or creation of an airport hazard or if it would permit a nonconforming obstruction to become a greater hazard to air navigation than it was when the applicable airport protection zoning regulation was adopted which allowed the establishment or creation of the obstruction, or than it is when the application for a permit is made.
b.
If the County determines that a nonconforming obstruction has been abandoned or is more than 80 percent torn down, destroyed, deteriorated, or decayed, a permit may not be granted if it would allow the obstruction to exceed the applicable height limit or otherwise deviate from the airport protection zoning regulations. Whether or not an application is made for a permit under this subsection, the owner of the nonconforming obstruction may be required, at his or her own expense, to lower, remove, reconstruct, alter, or equip such obstruction as may be necessary to conform to the current airport protection zoning regulations. If the owner of the nonconforming obstruction neglects or refuses to comply with such requirement for ten days after notice, the county may proceed to have the obstruction so lowered, removed, reconstructed, altered, or equipped and assess the cost and expense thereof upon the owner of the obstruction or the land whereon it is or was located.
c.
In determining whether to issue or deny a permit, the county will consider the following, as applicable:
1.
The safety of persons on the ground and in the air.
2.
The safe and efficient use of navigable airspace.
3.
The nature of the terrain and height of existing structures.
4.
The effect of the construction or alteration on the state licensing standards for a public-use airport contained in chapter 330 and rules adopted thereunder.
5.
The character of existing and planned flight operations and developments at public-use airports.
6.
Federal airways, visual flight rules, flyways and corridors, and instrument approaches as designated by the FAA.
7.
The effect of the construction or alteration of the proposed structure on the minimum descent altitude or the decision height at the affected airport.
8.
The cumulative effects on navigable airspace of all existing structures and all other known proposed structures in the area.
d.
In issuing a permit under this section, the county shall require the owner of the obstruction to install, operate, and maintain thereon, at his or her own expense, marking and lighting in conformance with the specific standards established by the FAA.
e.
The county will provide the permit application to the Florida Department of Transportation in accordance with F.S. § 333.025(4).
f.
A person proposing to construct, alter, or allow an airport obstruction in an airport hazard area must submit, pursuant to subsection (3)b.8 above, documentation showing compliance with the federal requirement for notification of proposed construction or alteration of structures and a valid aeronautical study in order to obtain a building permit. Notification of proposed construction or alteration of structures must be filed at the FAA's Obstruction Evaluation/Airport Airspace Analysis (OE/AAA) website: https://oeaaa.faa.gov/oeaaa/external/portal.jsp.
Upon reviewing the proposed construction/alteration, the FAA will issue a letter of determination, which must be submitted to the County in order to apply for a building permit. If, however, the Notice Criteria Tool determines that the proposed construction or alteration does not exceed notice criteria, a print of such determination must be submitted to the county in order to obtain a building permit. The county may not approve a permit for the construction or alteration of an obstruction unless the applicant submits documentation showing both compliance with the federal requirement for notification of proposed construction or alteration and a valid aeronautical study. A permit may not be approved solely on the basis that the FAA determined that the proposed construction or alteration of an obstruction is not an airport hazard.
g.
In event of conflict between any airport zoning regulations adopted herein and any other regulations applicable to the same area, whether the conflict be with respect to the height of structures or vegetation, the use of land, or any other matter, and whether such regulations were adopted by the county or other regulatory body, the more stringent limitation or requirement shall govern and prevail.
(7)
Appeal to board of county commissioners.
a.
Any adversely affected person may, within 15 days from the date of the permitting agency's letter approving or denying the permit or making another final determination, appeal to the board of county commissioners by filing with the permitting agency an appeal letter specifying the grounds for appeal.
b.
An appeal shall stay all proceedings in the underlying action appealed from, unless the permitting agency certifies pursuant to the rules for appeal that by reason of the facts stated in the certificate a stay would, in its opinion, cause imminent peril to life or property. In such cases, proceedings may not be stayed except by order of the county issued to the parties in interest and for good cause shown.
c.
After having given public notice and due notice to the parties in interest, an appeal filed under this section shall be heard by the board of county commissioners. Any party may appear at the hearing in person, by agent, or by attorney.
d.
At or within a reasonable time after such hearing, the board of county commissioners, in conformity with the regulations set forth in this section 1-53-6.13, may affirm, reverse or modify the decision on the permit or other determination from which the appeal is taken.
(8)
Judicial review. Judicial review is available in accordance with F.S. 333.11.
(9)
Acquisition of air rights. The county may acquire air rights in accordance with F.S. § 333.12.
(10)
Enforcement and remedies. F.S. ch. 333 and these regulations may be enforced in accordance with F.S. § 333.13.
1-53-6.14. Access/private roads/private
driveways.
(a)
Private roads. Except for large lot subdivisions (section 1-54-5), the following criteria are established for construction of a private road in the county:
(1)
All private roads shall have a minimum of a 50-foot right-of-way with open drainage. The right-of-way width may be reduced to 30 feet if closed drainage, or inverted crown design is used.
(2)
No said right-of-way shall utilize any portion of the minimum lot width required within any zoning district other than an A-1 or A-2 zoning district.
(3)
All privately maintained roads abutting in [on] an approved public street or county-maintained road shall meet or exceed the type of construction of said approved public street or county-maintained road. In no case shall the approved private road be of a lesser type surface than the abutting approved public street or county-maintained road, unless a variance is granted by the board of county commissioners.
(4)
The applicant shall be required to pay the fee approved by the board of county commissioners in order to defray processing costs relating to the review, inspection, and approval of the private road by the county engineer.
(b)
Private driveways. Private driveways shall be classified as legal access on or over private property to a building or structure from an approved private road, public street, or county-maintained road. Private driveways may serve no more than three residential parcels, plus their attendant or secondary accessory structures. Furthermore, this section shall not prevent the reasonable use of existing parcels having access only by public waterway.
(1)
Private driveways shall have a minimum improved width of 20 feet.
(2)
Private driveways that have dead-ends shall provide a turnaround that will accommodate emergency vehicles.
(3)
Private driveways shall be constructed with a stabilized surface in order to accommodate emergency vehicles.
(c)
Use of residentially zoned lot for access. No lot which is residentially zoned shall be used for a private driveway, approved private road, walkway, or access purposes to any lot which is nonresidentially zoned, or used for any purpose not permitted within the applicable residential zoning district.
(d)
Large lot subdivisions. Access roadways for large lot subdivisions are not subject to the provisions of this section and shall, instead, be subject to the provisions of the large lot subdivision section of the Code.
(e)
Nothing in this section shall be construed to mean that private driveways located on an individual parcel, lot, or tract or roadways serving lands used for bona fide commercial agricultural purposes, with or without residential structures occupied in conjunction therewith, shall be paved or improved to meet the requirements above.
1-53-6.15. Second dwelling units. Except as provided by this section or by a specific provision elsewhere in this code, no individual parcel of land shall be permitted for more than one permanent residential structure or mobile home.
(a)
Additional dwelling unit on a single parcel of land.
(1)
Agricultural districts. A parcel in an agriculturally zoned district may contain two single-family residences if the following criteria are met:
a.
The density requirements of the applicable future land use category are satisfied.
b.
The lot size is twice the required lot size for the zoning district, but in no event less than ten acres including easements.
c.
The lot width is twice the required lot width for the zoning district.
d.
The residences are separated by a minimum of twice the required side yard setback for the zoning district.
e.
Each dwelling must have separate utility infrastructure, including electricity, water, sewer, and/or septic systems.
f.
There are no more than two residences constructed or installed as two freestanding single-family residences.
g.
Each residence must be located on the parcel in such a manner that the residences could be separated onto individual parcels and still meet the dimensional and density regulations for the zoning district as well as the density requirements of the applicable future land use category. Each residence must have a legal access to a public right-of-way.
(2)
Residential districts. A parcel in a residentially zoned district may contain one accessory dwelling unit in accordance with section 1-53-3.3(a)(8).
(3)
Other districts. A parcel in a commercially zoned or industrially zoned district may contain a caretaker residence if the criteria specified below are met. A parcel in a PUD, DSAP or RDSAP zoning district may contain a caretaker residence if the approved master concept plan included the caretaker residence and the criteria specified below are met.
a.
The caretaker residence is smaller than the primary use and structure on the property.
b.
The caretaker residence is approved through a site development plan.
c.
The caretaker must perform duties for the business requiring the person to reside on the premises.
(b)
Medical hardship.
(1)
A temporary second dwelling unit on one parcel may be approved by special permit in any district where additional living accommodations are necessary and a clearly demonstrated medical hardship prevails upon an immediate family member of the head of the household. Recreational vehicles may not be used as a dwelling unit for a medical hardship.
(2)
The immediate family is defined for this subsection as father, father-in-law, mother, mother-in-law, daughter, daughter-in-law, son, son-in-law, sister, sister-in-law, grandparents, step relations (relationship through the previous marriage of a spouse or through the remarriage of a parent rather than by blood) and certain other persons for whom the head of the household has been appointed legal guardian. The medical hardship must be substantiated with a written certification from a duly licensed physician that a medical hardship exists and that such hardship requires constant or recurring physical care and assistance. This hardship shall be subject to annual review and shall be discontinued when the hardship no longer exists. Should the hardship cease to exist prior to annual review it shall be the responsibility of the applicant to notify the planning and zoning department immediately.
(3)
The second dwelling unit shall be removed within 60 days after the expiration of a special permit or cessation of the hardship.
1-53-6.16 Standards for mining.
(a)
Applicability; exceptions. Any mining or earth removal activity begun or enlarged after the effective date of this code may be undertaken only in a PUD zoning district with a list of authorized uses that specifically included mining with the exception of the following:
(1)
Earth-moving in conjunction with any routine maintenance activity which restores the excavation of the final and previously excavated slope and depth configuration or with the installation of an underground utility which is backfilled.
(2)
Foundations of any building or structure, providing the excavation will be confined to the area of the structure only.
(3)
Excavations relating to the accessory use of property which by nature are of limited duration and designed to be filled upon completion, i.e., graves, septic tanks, swimming pools, fuel storage tanks, etc.
(4)
The regrading only of any property for aesthetic purposes that does not create a body of water or affect existing drainage patterns, provided the soil is not moved offsite.
(5)
Agricultural drainage and irrigation work incidental to agricultural operations.
(6)
The grading, filling, and moving of earth in conjunction with road construction.
(7)
Excavation of material to the approved depth pursuant to an environmental resource permit or exemption issued by the South Florida Water Management District for the water management system of a project where all material excavated is used on site; provided, however, site development plan or plat approval must be obtained from the county.
(8)
Removal of spoil or surplus material, provided all of the following conditions are met:
a.
The total amount of material to be removed is less than 1,500 cubic yards;
b.
The material did not originate from an excavation that was conducted on the property to produce material for sale off-site, regardless of whether or not the current landowner was the person who conducted the excavation; and
c.
A permit to remove the spoil is obtained from the county.
(b)
Duration of approval. The board of county commissioners may establish a time by which operation of a mining activity shall terminate. The board of county commissioners may thereafter extend or modify said term.
(c)
Minimum conditions of approval. Unless waived or modified by the board of county commissioners at the time of approval, the following shall be included as minimum conditions of approval:
(1)
Water management plan. Each mining operation shall incorporate a water management plan detailing methods for the conservation of existing on-site and off-site surface drainage systems and groundwater resources. Copies of an appropriate environmental resource permit and water use permit (dewatering) as required and issued by the South Florida Water Management District or Florida Department of Environmental Protection, as appropriate, shall be provided to the planning and zoning department.
(2)
Traffic and road impact analysis. If excavated material will be removed from the property, and unless, due to site-specific circumstances, the requirement is waived by the board of county commissioners, a traffic and road impact analysis will be made showing all public and private roads which will be necessary to protect such roads from physical or functional deterioration.
(3)
Blasting. If blasting will be conducted in conjunction with the mining operation, all blasting shall be done under applicable regulations. Prior to blasting, no overburden shall be removed from the area planned for mining unless otherwise approved by the planning and zoning department.
(4)
Interference with drainage systems. The mining will not interfere with the natural function of any sanitary, storm or drainage system, or natural flowage way, whether public or private, so as to create flooding or health hazards or jeopardize the natural resources and environment of the county.
(5)
Noise. Noise generated by the mining operation will not cause a violation of any applicable ordinance. Rock crushing operations or material stockpiles that will be adjacent to any existing residential area shall require specific approval from the board of county commissioners.
(6)
Protection of water quality. The mining operation will not adversely affect groundwater levels, water quality or surface water flow ways. The conditions may require the applicant to monitor the quality of the water in the excavation and adjacent groundwater and surface water. Under no circumstances shall mining be conducted in such a manner as to violate applicable water quality standards.
(7)
Safety hazards. The mining operation will be constructed so as not to cause an apparent safety hazard to persons or property.
(8)
Setbacks. Excavations shall be located so that the top-of-bank of the excavation shall adhere to the following minimum setback requirements:
a.
Seventy-five feet from the right-of-way line or easement line of any existing or proposed private or public street, road, highway or access easement.
b.
Fifty feet from side, rear or abutting property lines, except where the excavation abuts a zoning district which allows residential uses, the setback shall be 100 feet from the residentially zoned property.
(9)
Side slopes. The finished side slopes of the excavated area, expressed as the ratio of horizontal distance in feet to one foot of vertical drop, shall be as follows:
a.
A 4.0:1 slope shall be graded from the top-of-bank to a break-point at least six feet below the control elevation of the excavated area. Below this break-point, slopes shall be no steeper than 2.0:1.
b.
All governing side slopes shall be considered from the top-of-bank of the resulting excavation, whether said top-of-bank is at the surface of adjacent fill material or at existing ground level.
c.
If rock, homogenous to the bottom of the excavation, is encountered at any elevation above the break-point, then the remaining slope below the break-point shall be no steeper than 0.5:1. If said homogenous rock is encountered below the break-point, then the slope below the break-point shall be no steeper than 2.0:1 to the rock elevation, and no steeper than 0.5:1 from the rock elevation to the bottom of the excavation. However, in no case shall the 0.5:1 slope originate less than six feet below the control elevation of the excavated area.
(10)
Depths. Minimum and maximum depth of excavation shall be established as part of the approval.
(11)
Fencing. Except when alternative fencing is approved by the board of county commissioners, the mining operation shall be enclosed with a minimum of a four-foot-high fence with "no trespassing" signs placed no more than 100 feet apart. Any fencing may be removed upon final completion of reclamation and confirmation thereof by all governmental authorities with jurisdiction.
(12)
Hours of operation. Except when alternative hours are approved by the board of county commissioners, hours for use of equipment, blasting and excavation operations, including any ancillary activities that generate noise, shall be limited to Monday through Friday between the hours of 7:00 a.m. and 6:00 p.m., and Saturdays between the hours of 7:00 a.m. and 12:00 p.m. Except when approved by the board of county commissioners, no use of equipment, blasting, or other operations shall occur on Sundays or holidays observed by the Hendry County Board of County Commissioners. Dewatering pump operations shall be restricted as set forth in subsection (13).
(13)
Dewatering pumps. Dewatering pumps that are located within one-half-mile of a residence shall have adequate mufflers and be surrounded by earthen berms. Noise from dewatering pumps shall be subject to the county's noise control ordinance (chapter 1-14.5).
(14)
Site development plan, site improvement plan, or construction plans. Prior to commencement of any activities on site, the applicant shall obtain approval of a site development plan, site improvement plan, or construction plans in accordance with sections 1-58-56, 1-54-14, or 1-58-59, respectively, et seq. The applicant may propose phasing the mining activities. The plan shall contain the following information at a minimum:
a.
Watercourse and water bodies;
b.
Wetlands;
c.
Indigenous vegetation areas;
d.
Boundaries;
e.
Public and private roads, and vehicle access routes to the nearest county or state maintained road;
f.
Utility lines and easements;
g.
Public and private wells, permitted by the applicable governmental agency, within a one-half-mile radius around the mining boundary;
h.
Septic tanks, drain fields, and chemical and fuel storage tanks within a one-half-mile radius around the mining boundary;
i.
Railroads; and
j.
Structures/buildings.
(15)
Restoration. Upon completion of the mining operation, the subject property shall be restored as required by the 1986 State of Florida Resource Extraction Reclamation Act (F.S. ch. 378, pt. IV). Reclamation shall mean the reasonable rehabilitation of the total disturbed area where the mining has occurred, and shall meet the reclamation performance standards established by the state, and contained herein.
a.
Reclamation plan. Plans and other appropriate documents accurately depicting the plan of reclamation, consistent with the standards detailed herein are required. The reclamation plan shall be a part of the site development plan, site improvement plan, or construction plans to be approved by the county. The reclamation plan must include:
1.
A schedule for the commencement and phasing of reclamation, and planting plans for the littoral zone created wetland areas and any indigenous replanting including the species, quantities, and size upon planting. The reclamation must begin no later than 60 calendar days after cessation of mining or when activities in a mining cell or area are completed. If mining ceases in a cell or area for a period of 120 consecutive days, mining of that cell shall be deemed completed and reclamation shall be commenced within 180 calendar days after the date mining was last performed. Reclamation must be completed within one year from the date the reclamation begins with respect to each mining cell or area, unless otherwise authorized by the planning director.
2.
Description of the manner in which restructuring, reshaping, and stabilization of lake banks will be accomplished. The plan must also show proposed elevations and final grades for the site.
3.
Show all areas to be reclaimed, including the specific locations and descriptions of the following areas:
(i)
Mitigation and preservation areas established for wildlife species;
(ii)
Indigenous area to remain as indigenous replanting areas;
(iii)
Type and location of vegetation to be preserved;
(iv)
The natural and man-made features that will exist after reclamation is completed; and
(v)
Littoral zone created wetland areas.
4.
Depict at least two typical cross sections, with elevations, showing areas to be filled, back-filled, reconstructed, or reshaped. Water elevations shall also be shown.
5.
The applicant shall provide an estimate for the cost of implementation of the plantings called for by the reclamation plan, prepared and signed by a registered landscape architect, which shall include cost estimates for the implementation of the reclamation plan.
6.
All reclamation plans submitted shall be drawn to a minimum scale of 1" = 200' based on the size of the project and sheet sizes shall be 22" × 34".
b.
Reclamation standards. All excavated lakes must be designed to ensure appropriate native wetland areas will be created as a littoral shelf to provide long term water quality benefits, a source of natural organics for the lake, and wildlife habitat. Mining operations will be subject to the following reclamation standards to ensure long term plans to sustain or improve the baseline water quality as well as sustain fish and wildlife. These conditions are not intended to conflict with the wetland permitting requirements of the U.S. Army Corps of Engineers, Florida Department of Environmental Protection, or the South Florida Water Management District.
1.
Areas disturbed by mining, including the top of lake banks, must be stabilized with native plants, sod, or grass seeding at completion of mining or completion of a separate mining cell or area in accordance with the reclamation plans.
2.
The perimeter of any lakes shall be non-linear with corners no less than 25 feet in radius.
3.
Reclamation must be completed along the perimeter of the mining area and within the excavated lake. A littoral zone shall extend around 75 percent of the linear shoreline of the lake.
4.
In order to maximize the ecological benefits of the lake, the littoral zone shall be developed to meet the following requirements:
(i)
The littoral zone shall have a non-linear shape;
(ii)
The created littoral zone must be designed with a slope no steeper than 8:1, that extends 1.0 foot above control elevation and that reaches a depth of not less than 2.0 feet below control elevation;
(iii)
The littoral zone shall be created with foraging pockets with varying depths for low water levels; and
(iv)
Plantings shall be provided for 50 percent vegetative cover within one year from the time of planting; and include a diversity of indigenous species, including wetland trees, wetland shrubs, and herbaceous species. No more than 25 percent of one plant species may be utilized above the control elevation, nor more than 50 percent of one plant species below the control elevation. At least six native species must be planted as part of the created littoral zone.
5.
The created littoral zone must be maintained free of exotic and nuisance plant species. Methods and a plan to control exotic and nuisance species shall be provided.
6.
All spoil piles and stockpiles of material must be removed from the site or incorporated into the reclamation plan when mining is completed.
7.
After mining is complete and upon reclamation of the site, cross sections shall be done every 300 feet along the lake bank to ensure slopes are correct and shall extend from the top of the lake bank to the bottom of the lake.
(d)
Inspection. When any mining activities are occurring or reasonably suspected of occurring, county personnel shall have the right to enter the property permitted for excavation and may from time to time carry out inspections of the excavation site including the collection of water samples to determine compliance with the provisions of this code and any conditions attached to the approval. Upon reasonable notice from county personnel that an inspection is to be conducted which requires the assistance and/or presence of the applicant, the applicant shall be available to assist and/or accompany county personnel in the inspection of the excavation site.
(e)
Performance guarantee. Prior to site development plan approval, the permittee shall provide a performance guarantee to ensure compliance with the provisions of this section in the form of an escrow agreement, letter of credit or performance bond. The performance guarantee shall be on forms approved by the county attorney. Governmental entities shall be exempt from providing a performance guarantee. The three forms of performance guarantees are:
(1)
A cash deposit or certificate of deposit for the benefit of the board of county commissioners documented by way of an escrow agreement with an escrow agent located in Florida;
(2)
An irrevocable letter of credit for the benefit of the board of county commissioners issued by a Florida bank or credit union. Said letter of credit shall, at a minimum, be irrevocable for a term of not less than one year and will be automatically extended without amendment for successive one year periods until completion of reclamation activities unless, not less than 60 days prior to the then-relevant expiration date, the county receives notice by registered mail that the letter of credit shall not be extended for the additional time period. In the event that the letter of credit is not extended, the permittee shall secure a replacement performance guarantee not less than 30 days prior to the then-relevant expiration date, failing which the county shall be entitled to make a claim on the full amount of the letter of credit. No mining activities may occur unless a valid performance guarantee is in place; or
(3)
A performance bond for the benefit of the board of county commissioners issued by a Florida registered surety company having a Best's rating of A+.
The performance guarantee posted for road impacts and final grading shall be in an amount of no less than $10,000.00 and for mining areas in excess of 50,000 cubic yards shall be computed at the rate of $0.20 per cubic yard to be excavated to ensure compliance with the provisions of this section and the PUD ordinance or special exception resolution (whichever the case may be). The littoral plantings and any other vegetative plantings required by the approved reclamation plan shall be assured by a performance guarantee in an amount at least 120 percent of the estimated cost of completion of the plantings and no less than $10,000.00.
Where mining activities will be conducted in phases as approved in the site development plan, the performance guarantee shall be provided for the largest phase and the mining activities may occur only on one phase at a time. The performance guarantee shall be executed by the permittee and shall remain in effect until the reclamation is completed in accordance with this section. All performance guarantees shall be kept in continuous effect and shall not be allowed to terminate without the written consent of the planning and zoning department. Should the county find it necessary to utilize the performance guarantee to undertake any corrective work under the terms of this section, or to correct any off-site impacts of the mining operation, the permittee shall be financially responsible for all legal fees and associated costs incurred by the county in making a claim on the performance guarantee. In the event permittee shall commence reclamation and shall execute a construction contract for the required reclamation of the mining project, the performance guarantee required by this section may be released if the county is the beneficiary of an adequate performance bond issued for the construction contract. The county may release an appropriate portion of the performance guarantee required by this section to a permittee who has completed reclamation of a portion of the mining project.
(f)
Additional conditions of approval, unless waived or modified by the board of county commissioners at the time of approval.
(1)
The permittee shall submit to the county engineer on a quarterly basis truck tickets showing the number of trucks exiting the site each day to transport material off-site. Also, the county reserves the right to monitor the same. If one or more of the following conditions apply, corrective measures as approved by the county engineer must be taken within a reasonable amount of time: (a) traffic counts trip the level of service threshold; (b) warrant exists for a turn lane; (c) warrant exists for a deceleration lane; or (d) more than two accidents within three years take place as a result of truck maneuverability and based upon the recommendation of the county engineer. If corrective measures cannot be taken within a reasonable amount of time as approved by the county engineer the applicant shall close the mining operation. If the applicant and the county engineer cannot agree on the necessary corrective measures or a reasonable time frame for the corrective measures, the matter will be put on the board of county commissioners' agenda for their next available meeting.
(2)
There shall be a staging area within the permittee's property (but which may be outside of the fenced-in area) to accommodate all waiting trucks. No trucks are allowed to stage offsite within a road right-of-way or road easement. The site may be open for trucks to stage one-half-hour before hauling from the site is allowed each day.
(3)
The permittee must use any and all dust controls necessary to prevent the operation from becoming a nuisance to adjoining properties or public roads. The permittee shall remove any dirt or debris from the excavation operation that accumulates on or in the road right-of-way or road easement.
(4)
This approval does not in any way create any rights on the part of the permittee to obtain a permit from a state or federal agency and does not create any liability on the part of the county for issuance of the permit if the permittee fails to obtain requisite approvals or fulfill the obligations imposed by a state or federal agency or undertakes actions that result in a violation of state or federal law. All other applicable state or federal permits must be obtained before commencement of the development.
(5)
The permittee will install silt fencing and other such soil erosion control measures on the perimeter of the property or construction area as necessary to minimize discharge of soil offsite or to any indigenous vegetation required to be preserved under the county's ordinance.
(6)
From the place where any point of ingress and egress connects with a state or county road to at least 150 feet inside the permittee's property, a paved driveway shall be constructed.
(7)
A truck/tire wash shall be installed at the interior terminus of the paved connection to the state or county road system. A detail of the truck/tire wash system shall be included in the site development plan.
(8)
If during the course of site clearing, excavation or other construction activity, a historic or archaeological artifact is discovered, all activity within the minimum area necessary (as delineated by state rules and criteria) to protect the artifact, etc. shall be immediately stopped.
(9)
Such additional conditions as are deemed necessary on a case-by-case basis to adequately protect the public health, safety and welfare.
1-53-6.17. Airglades Planned Industrial District (APID).
(a)
Purpose of district. The Airglades Planned Industrial District (APID) is intended to provide lands for the purpose of business and industry which support the economic base of the county and contribute to its economic growth and self-sufficiency. The nature of uses shall include research, development, and manufacture of products not likely to be objectionable to neighboring properties. The development standards of this district are intended to result in an attractive appearance through various site design standards. Where specific standards are not contained herein, the standards of the Hendry County Land Development Code shall apply.
Airglades Industrial Park (the "Park") is zoned APID and is located in Sections 17 and 20, Township 43 South, Range 33 East, Hendry County, Florida more particularly described as follows:
A parcel of land in Sections 17 and 20, Township 43 South, Range 33 East, Hendry County, Florida more particularly described as follows:
From the point of beginning being the northeast corner of said Section 17 proceed S89°32'55"W along the north line of said Section 17 a distance of 5,293.00 feet to the northwest corner of said Section 17;
Thence S00°08'25"E along the west line of said Section 17 a distance of 2,627.03 feet;
Thence N90°00'00"E a distance of 1,121.55 feet;
Thence S45°16'40"E a distance of 3,765.76 feet;
Thence N44°43'20"E a distance of 1,502.11 feet;
Thence N89°48'41"E a distance of 446.18 feet to the east line of said Section 17;
Thence N00°11'19"W along the east line of said Section 17 a distance of 4,249.84 feet to the said point of beginning.
Less and except: State Road 80 (US27) and Flaghole Road rights of way and also that part of said Section 17 lying west of said Flaghole Road right-of-way.
Bearing reference and coordinate values: Bearing of S89°32'55"W on the north line of Section 17, Township 43 South, Range 33 East. Hendry County, Florida. Florida State Plane Coordinate System, East Zone, North American Datum of 1983 with the 2011 adjustment. Grid bearings in degrees, minutes, and seconds and grid distances in U.S. survey feet.
At the date of adoption of the ordinance from which this section derives, the park contained land that is currently in active agricultural use. These uses are consistent with the APID and may continue.
(b)
Uses permitted. The site plan depicted in Figure 1 shows the individual development zones A through D, in Sections 17 and 20, Township 43 South, Range 33 East. General allowable uses include Commercial uses in zone A, Industrial uses in zone B, Airside Industrial in zone C, and Commercial and Industrial uses in zone /D.
Permissible uses on each tract are listed below. Accessory uses, buildings and structures that are customarily incidental and subordinate to the principal use of the structure or premises are permitted in all zones:
(1)
Zone A - Commercial.
a.
Repair and shop uses:
1.
Awning and canvas;
2.
Carpenter and cabinet;
3.
Contractor shop;
4.
Locksmith;
5.
Sharpening and grinding;
6.
Electronic equipment repair;
7.
Taxidermist;
8.
Home appliance repair;
9.
Upholstering shop;
10.
Lawn mower and motorcycle repair; and
11.
Furniture repair.
b.
Restaurants limited to 3,000 square feet of gross floor area.
c.
Professional offices, excluding medical.
d.
Financial institutions.
e.
Commercial with trade schools.
f.
Indoor recreation center, gymnasiums, and health clubs.
g.
Truck stops with or without wash area, hotel or motel, and/or gas stations.
h.
Removal off site of excess spoil material from the excavation of drainage facilities on site. Such material shall, however, be the property of Hendry County.
(2)
Zone B - Industrial.
a.
Manufacture of products including:
1.
Computer components;
2.
Robotics;
3.
Food processing and packaging;
4.
Apparel related products;
5.
Manufacture of finish wood products;
6.
Furniture, fixtures;
7.
Assembled paper products;
8.
Formulation and packaging of drugs, cosmetics, soap;
9.
Fabricated metal products;
10.
Light manufacturing or machinery;
11.
Electrical equipment and components;
12.
Optics;
13.
Aerospace composites;
14.
Integrated circuits;
15.
Ceramics;
16.
Consumer electronics;
17.
Manufacturing technology;
18.
Image recognition; and
19.
Medical devices.
b.
Warehouse and storage buildings.
c.
Meat, poultry, and/or fish slaughtering, processing or canning.
d.
Manufacture of asphalt, brick, tile, cement, lime, plaster, concrete, and/or carbon;
e.
Sales, rental, and display of the following:
1.
Construction equipment;
2.
Machinery;
3.
Monuments;
4.
Restaurant, hotel and store supplies, fixtures and equipment;
5.
Swimming pool supplies;
6.
Electronic supplies;
7.
Medical and dental equipment and supplies;
8.
Photographic equipment and supplies;
9.
Tires and batteries;
10.
Sign painting; and
11.
Glass and mirrors.
f.
The following services and trade establishments provided that they do not offer retail services on the same premises:
1.
Bookbinding;
2.
Bakery;
3.
Blending of liquor;
4.
Cheese making;
5.
Carpet and rug cleaning;
6.
Diaper service;
7.
Drapery and blind fabrication and service;
8.
Egg storage, handling, or processing;
9.
Food catering;
10.
Glass and mirror shop;
11.
Hydroponic garden;
12.
Laundry;
13.
Linen supply;
14.
Machinery repair;
15.
Magazine whole sale agency;
16.
Motion picture studio;
17.
Pattern making;
18.
Printing, publishing, lithography, and engraving;
19.
Tool, die, and gauge shop including the use of automatic screw machines;
20.
Communication-information/data processing;
21.
Telecommunication;
22.
Exterminating;
23.
Janitorial;
24.
Boat building and repair;
25.
Plumbing or electrical shop;
26.
Manufacture of powder blends;
27.
Telephone exchange; and
28.
Tank and truck washing.
g.
The following repair and shop uses:
1.
Awning and canvas;
2.
Carpenter and cabinet;
3.
Contractor shop;
4.
Locksmith;
5.
Sharpening and grinding;
6.
Electronic equipment repair;
7.
Taxidermist;
8.
Home appliance repair;
9.
Upholstering shop;
10.
Lawn mower and motorcycle repair; and
11.
Furniture repair.
h.
Blacksmith and welding.
i.
The rental and/or storage of motor vehicles, recreational vehicles, boats, trucks, and trailers, subject to the following conditions:
1.
New or used motor vehicles, recreational vehicles, boats, trucks, and trailers, offered for rent shall occupy not more than one-half of the lot on which the business is located.
2.
Any business which permits the rental and/or storage of motor vehicles, trucks and trailers, recreational vehicles, and boats bearing signs, painted or otherwise affixed to the vehicles which signs advertise a franchiser or company name shall store such vehicle within a completely enclosed building or shall provide a vehicle storage area as set forth below. All motor vehicles, recreational vehicles, boats, trucks, or trailers bearing such signs must be stored within this vehicle storage area or in the enclosed building.
3.
All maintenance, washing, and repair must be within the enclosed area described above.
j.
Crating, packing, distribution, shipping, and soft drink bottling, including warehouse and storage.
k.
Auto towing.
l.
Commercial transportation business including taxi dispatch, bus and tram depots, and motor freight terminals.
m.
Removal off site of excess spoil material from the excavation of drainage facilities on site. Such material shall, however, be the property of Hendry County.
(3)
Zone C - Airside Industrial.
Uses will be limited to those allowable in accordance with FAA guidelines.
(4)
Zone D - Commercial and Industrial Uses.
All uses allowed in zones A and B are allowable in Zone D.
(c)
Uses prohibited. Except as specifically permitted in this division, the following uses are expressly prohibited as either principal or accessory uses:
(1)
Foundry.
(2)
Drop forging.
(3)
Paint or varnish manufacture.
(4)
Oil compounding or barreling.
(5)
Die casting.
(6)
No open-air storage of bulk materials is allowed. This prohibition does not apply to storage of materials in a warehouse or to any use operated by Hendry County. Stockpiles cannot be visible.
(7)
Any business which is obnoxious because of dust, dirt, smoke, fumes, odors, noises, vibrations or radioactive wastes.
(8)
Adult entertainment.
(9)
Production of hazardous waste including, but not limited to, acids, poisons, toxic chemicals or batteries.
(10)
Any activity that would conflict with Section 1-53-6.13, Airports, of the Hendry County Land Development Code (LDC) or its successor ordinance.
(d)
Supplemental development standards.
(1)
Height. Building and structure heights shall be regulated by Section 1-53-6.13, Airports, of the LDC or its successor ordinance.
(2)
Plot size. Every plot shall be not less than 100 feet in width and not less than 20,000 square feet in area. The plot area is determined to be the lease area (refer to Figure 2).
(3)
Setbacks.
a.
No building or roofed structure shall be located less than 25 feet from any plot line described boundaries of the property.
b.
No more than one-half of the depth of any required setback area measured from a street line or plot line may be used for parking and such parking shall be located on the half of the required setback furthest from the street or front or plot line. The balance of the setback area shall be landscaped and used for no other purpose.
c.
All required setback areas, except where used for permitted parking, shall be landscaped. A required landscaped area shall not be crossed by more than the minimum of walkways and driveways necessary for access to the building.
d.
Signs, light standards, and fences shall be permitted in required setback areas as hereinafter specified.
(4)
Fences and walls. All fences and walls shall be constructed of concrete, masonry, or metal. Metal fences shall be of the open-weave, chain-link type. Fences and walls shall not exceed ten feet in height. Fences and walls shall not be located within any setback area on a street with the exception that a double frontage plot shall be permitted to contain fences and walls in the rear or secondary required setback area when provided with a 25 feet planting area adjacent to the street landscaped in conformance with this section. The county engineer may approve fences to be located within the setback area if the required landscaping and streetscaping are still complied with and the visibility triangle is not negatively impacted.
(5)
Lighting. All exterior lighting shall be so installed as not to cause any nuisance to adjoining residential areas. Exterior lighting shall comply with FAA regulations and section 1-53-6.13 of the LDC or its successor ordinance.
(6)
Landscaping.
a.
Minimum landscaped open space. Each plot shall provide not less than ten percent of its area in landscaped open space. The landscaped open space area shall include, at a minimum, one tree per 3,500 square feet. The remainder of the landscaped open space areas must be landscaped with grass, ground cover, shrubs or other approved landscaping materials. The parking area adjacent to the primary building entry shall be landscaped in accordance with section 1-58-25(b)(2). The required buffer areas and landscaping may be credited towards the landscaped open space area calculations. All landscaping areas, including sodded areas, shall receive regular maintenance including trimming, minimum fertilization to protect wetlands, mowing and replacement of diseased plant materials, as required. If irrigation systems are installed they shall be underground, automatic, kept in good repair, and shall not discolor any wall, sign surface or other structure. Perimeter landscaping shall be maintained so as to avoid blight and preserve the beauty, quality, and value of the park, and to maintain a uniform and sightly appearance. The area between the building and the street shall be used for open landscaping and green areas to the greatest extent possible, taking into account necessary parking. All landscaping shall be completed prior to issuance of a certificate of occupancy with respect to the building constructed or erected on any lot and shall be subject to the approval of the planning and zoning department.
b.
Streetscaping. Streetscaping shall be provided adjacent to the road right-of-way (ROW) of the access and internal roads. The streetscaping shall be installed prior to a certificate of occupancy and shall be maintained by each lot tenant. Streetscaping shall be in accordance with Figure 3. Variations of sequencing may be reviewed on a case by case basis. The oak trees shall be a minimum of 12 feet in height at planting, the magnolia trees shall be a minimum of 25 gallons at planting, and the shrubs and grasses shall be a minimum of three gallons or 24 inches in height at planting.
c.
Alternate landscape betterment plan. Applications pursuant to this section and LDC section 1-58-41 may propose an alternate landscape betterment plan if it can be demonstrated that the plan still meets the landscaped open space and the streetscape requirements. Considerations for a betterment plan may include, but are not limited to, water conservation designs, larger trees at planting, and greater open space areas. Required side and rear yard buffering between individual lots in accordance with LDC section 1-58-41 may be amended through an alternate landscape betterment plan if the uses are similar or it is shown to create an operational hardship. For example, such amendments may include requiring buffering on the first lot to obtain a SDP and not on the adjacent lot. This amendment would be an example of minimizing the need for irrigation and therefore creating water conservation measures.
(7)
Storage. All outside storage of materials, supplies, products, equipment or machinery, except automotive vehicles, shall be screened from direct view at ground level from any street.
(8)
Construction standards. All developed property shall be landscaped, improved and maintained in full conformity with all applicable requirements of the land development code.
a.
All improved land shall be well-graded and free from underbrush and objectionable plant growth. The 50 feet closest to any public right-of-way shall be mowed periodically as necessary to control natural grass growth. The balance of the site shall be kept free of debris and shall not be used for storage or disposal of any objects or materials.
b.
Lessees shall comply with the current county's water quality monitoring plan for the Airglades Stormwater Discharge or its successor and each site shall be designed in conformance with the Airglades Stormwater Master Plan. This will require a minimum of ½ inch of dry pretreatment to be detained on site prior to discharge into the master surface water management system.
c.
All planted and landscaped areas shall be maintained in a neat, orderly, healthy, growing and properly trimmed condition.
d.
All buildings and structures shall be kept properly painted and protected from deterioration and shall not be permitted to become dilapidated.
e.
All driveways, walkways, parking areas, storage, and loading areas of developed property shall be well-graded and surfaced with asphalt concrete or other equivalent hard, dustless materials.
f.
No building or structure, or part thereof, shall be erected, in whole or in part, that is obnoxious, objectionable, a nuisance or a hazard to adjoining properties, as they relate to sound, vibrations, odors, glare, radioactive materials, smoke and particulate matters.
g.
Buildings facades facing roadways shall be designed to appear to be the fronts of buildings. This provision shall apply to corner and double frontage lots.
h.
Impervious area shall generally be limited to 40 percent of each individual lot, and the lessee shall obtain a modification to the South Florida Water Management District ERP for the Airglades Industrial Park (see Figure 4). An increase in the impervious area may be approved by the county engineer if it can be shown that the increase will not negatively impact the overall stormwater management system for the Airglades Airport and that the open space and landscaping requirements can be met.
(9)
Vibration. Every use shall be so operated that ground vibration inherently and recurrently generated is not perceptible, without instruments, at any point on the property line of the property on which the use is located.
(10)
Smoke. Any emissions of smoke must be in conformance with section 1-53-6.13 of the LDC or its successor ordinance.
(11)
Fumes, gases, vapors, dusts, and acids. No person shall cause or allow the escape into the open air of such quantities of fumes, gases, vapors, dusts, and acids, in such place or manner as to cause injury, detriment, or nuisance to the public, or to endanger the peace, comfort, health or safety of the public, or in such manner as to cause or have a tendency to cause injury or damage to business or property. Tests may be required by the building, licensing and code enforcement department for the purpose of the abatement of fumes, gases, vapors, dusts, odors, or any other nuisance, which may be present and which may come under the jurisdiction of the planning and zoning department. Such tests shall be made by the lessee or his authorized agent, and they shall be made in accordance with such procedures as may be accepted by a reputable and recognized authority such as: American Society of Testing Materials, U.S. Bureau of Mines, U.S. Public Health Service, the National Board of Fire Underwriters or others. The choice of such authority shall rest entirely with the building, licensing and code enforcement department.
Nothing in these rules and regulations regarding tests conducted by and paid for by the lessee or the lessee's authorized agents shall be deemed to abridge the rights of the building, licensing and code enforcement department to conduct tests of these installations and/or activity on behalf of the county.
(12)
Industrial sewage and waste. Every use shall be so operated as to prevent the discharge into any stream, lake, or the ground of any waste which shall be dangerous or discomforting to persons or animals or which will damage plants or crops, surface or subsurface water, land improvement or infrastructure.
(13)
Buildings. Buildings constructed in the commercial area shall be of modern design and constructed of modern materials. Exterior walls of each building shall be finished with color-coated steel panels, built-up concrete, or equivalent material such as concrete block with plaster or stucco finish, brick or other siding acceptable to the county. All exterior walls fronting on any street shall be aesthetically pleasing, and if concrete block, shall be given a veneer of either stucco, plaster, wood or similar covering. The gross area of any buildings located upon any lot shall be consistent with this APID within each phase. Structures located within 1,000 feet of the right-of-way of U.S. 27 must meet the requirements of the Gateway Overlay Corridor, section 1-58-16 of the county's land development code or its successor.
(14)
Loading storage and outside storage. Each parcel of the land devoted to site development shall provide sufficient on-site loading facilities to accommodate site activities, and all loading movement, including turn-arounds, shall be made off of the public right-of-way. Loading docks shall be located and screened so as to minimize their visibility from any street or other right-of-way. Screening of service areas, loading docks and so forth may consist of any approved combination of earth mounding, landscaping, walls and/or fencing the design for which must be approved by the county. No materials, supplies or equipment shall be permitted to remain outside of any building. However, tanks, motors, and special industrial equipment will be permitted to remain outside of any building as long as they are screened from the street and surrounding property. Rubbish and garbage facilities shall be screened so as not to be visible from any street or right-of-way. The maneuvering of trucks and trailers shall be confined to the extent practicable, to the lot included in the APID. Bulk storage of liquids, including gasoline, fuel, oil, other petroleum products and other liquids, shall be stored outside buildings or in underground containers located at a depth and area approved by the planning and zoning department. All storage shall be in compliance with applicable governmental laws and regulations.
(15)
Access points. It is intended that driveways on boundary streets be minimized. Spacing on boundary streets shall be at least 75 feet apart (center spacing), at least 100 feet from any street intersection, and a maximum of 24 feet in width, unless approved by the county in writing, in advance. Joint driveways may be developed to serve abutting parcels and are favorably encouraged.
(16)
Parking. Parking on the streets of the industrial park is strictly prohibited. All parking within the APID shall be in designated parking areas.
(17)
Signs and graphics. To minimize any detractive effects upon building appearance and landscaping which may result from the erection of signs within the subdivision, signs shall be located flush on building exterior walls not perpendicular to the wall surface; lettering may not be larger than four feet high; flashing signs of any kind are not permitted; and all signs shall conform to the applicable sign regulations of Hendry County as the same now exists or as the same or may hereafter be amended.
(18)
Maintenance. Building, landscaping, and other improvements shall be continuously maintained yielding a well kept appearance especially along the perimeters of any lot or other property. The county shall from time to time inspect site and landscape maintenance, and if not satisfied with the level of maintenance on a site, shall notify the owner in writing. If within 15 days from notification, maintenance has not been brought to acceptable standards in conformance with the following maintenance standards, the county may order the work done at the tenant's, grantee's, or lessee's expense and may treat the charges as an assessment.
(19)
Waste. All trash and garbage, except recyclable materials, shall be placed in designated containers, or within the tenant's, grantees, or lessee's contained service area, which shall be screened and properly landscaped. The size and number of containers shall reflect the capacity of the local agencies for trash removal. Yards and landscape areas will be kept free of trash, leaves, and dead landscaping materials. All tenants must use the county's approved franchise trash hauler.
(20)
Parking lots and sidewalks. All parking lots, sidewalks, and other hard surface areas shall be swept and cleaned regularly and cracks and damaged areas of sidewalks shall be repaired or replaced as required. Damaged or eroding areas of the asphalt parking surface shall be replaced as required and an overall resurfacing of the parking area will be done as necessary. Broken bumper stops and/or curbing shall be replaced as required; and drainage inlets, storm sewers and any surface drainage facilities shall be maintained in good repair and clear of debris so as to ensure their proper function. Each tenant, grantee, or lessee shall provide adequate off-street motor vehicle and trailer storage for the tenant's, grantee's, or lessee's needs, but, in any event, no less than that required by governmental regulations and requirements. All driveways and parking areas shall be constructed of asphalt or concrete product and bear the striping and signage required by law.
(21)
Airspace considerations. No development shall occur within a runway or taxiway safety area, object free area or other restrictive area. Development in Runway Protection Zones (RPZ) shall be consistent with the provisions of the RPZ as specified by the FAA.
(22)
Unless specifically noted herein, all standards contained in section 1-53-6.13 of the LDC, or its successor ordinance, shall govern development in this zoning district.
FIGURE 1
FIGURE 2
Figure 3
Figure 4
1-53-6.18 Pain management clinics.
(a)
Definitions. For the purposes of this section, the following terms shall have the following meanings:
Applicable law shall mean this Code, applicable Florida law, including, without limitation, rules and regulations promulgated by the Florida Department of Health, the Florida Board of Medicine, the Florida Board of Osteopathic Medicine, the Florida Board of Pharmacy, and applicable federal law.
Board shall mean the Hendry County Board of County Commissioners.
Controlled substance shall mean a controlled substance listed in schedules II, III, or IV in F.S. § 893.03.
Chronic nonmalignant pain shall mean pain unrelated to cancer or rheumatoid arthritis which persists beyond the usual course of disease or the injury that is the cause of the pain or more than 90 days after surgery.
Department shall mean the Hendry County Community Development Department.
Pain management clinic is defined in section 1-53-2.2.
Pain clinic responsible party shall mean any person or entity which owns, in whole or in part, or operates a pain management clinic; any person who manages or supervises the operations of a pain management clinic; any person who has been designated as the responsible physician or osteopathic physician for a pain management clinic, pursuant to F.S. § 458.3265(1)(c) or 459.0137(1)(c); and any person who participates, directly or indirectly, in any activity regulated or prohibited by section 1-53-6.18, et seq.
Pharmacy shall mean any pharmacy that is subject to licensure or regulation by the Florida Department of Health under F.S. ch. 465, and dispenses controlled substances in Hendry County.
Qualified pain management clinic shall mean:
(1)
A pain management clinic which is wholly owned and operated by one or more board-certified anesthesiologists, physiatrists, or neurologists; or
(2)
A pain management clinic which is wholly owned and operated by one or more board-certified medical specialists who have also completed fellowships in pain medicine approved by the Accreditation Council for Graduate Medical Education or the American Osteopathic Association or who are also board-certified in pain medicine by a board approved by the American Board of Medical Specialties or the American Osteopathic Association and perform interventional pain procedures of the type routinely billed using surgical codes.
Except as otherwise provided, a qualified pain management clinic shall be deemed to be a pain management clinic for all purposes set forth herein.
(b)
Location.
(1)
On or after March 15, 2012, any new pain management clinic shall only be located in the zoning district(s) where such uses are permitted pursuant to table 53-1 (Table of Use Regulations) including obtaining any necessary special exception, and shall be established pursuant to the requirements of this section.
(2)
Pain management clinics, regardless of location, which existed on December 29, 2010, shall be deemed a lawful use, and not subject to the requirements of this section 1-53-6.18(b).
(c)
Distance requirements.
(1)
On or after March 15, 2012, no pain management clinic shall commence operation within 1,000 feet of any other pain management clinic.
(2)
On or after March 15, 2012, no pain management clinic shall be co-located in the same office or building with a pharmacy or within 1,000 feet of a pharmacy.
(3)
On or after March 15, 2012, no pain management clinic shall commence operation within 1,000 feet of any bar, liquor store or similar establishment.
(4)
On or after March 15, 2012, no pain management clinic shall commence operation within 1,000 feet of any residential zoning district.
(5)
On or after March 15, 2012, no pain management clinic shall commence operation within 1,000 feet of any school, daycare center or church.
(6)
Distances shall be measured by straight line measurement without regard to intervening buildings from the nearest point of the building or unit within a building in which the proposed clinic is to be located to the nearest point of the facility from which the proposed clinic is to be separated.
(d)
Operational regulations.
(1)
Display of licenses. Pain management clinics shall prominently display in a public area near their front entrance copies of all state licenses, county licenses, and occupational license/local business tax receipt, and the name of the owner and designated physician responsible for compliance with state and county law.
(2)
Payment for goods and services. No pain management clinic shall limit the form of payment for goods or services to "cash only." "Cash only" shall mean paper currency or coins.
(3)
Hours of operation. It shall be unlawful for any pain management clinic to be open for operation between the hours of 6:00 p.m. and 7:00 a.m. or at any time on a Sunday.
(4)
Loitering. It shall be unlawful for a pain management clinic owner or operator to allow any patient or business invitee to stand, sit, or gather outside of the building in which the clinic operates, on the adjoining sidewalk or in the area(s) designated for parking, except as necessary for persons to make their way from the parking area inside the building. This prohibition includes sitting in or on a vehicle. The clinic owner(s) and operator(s) shall be responsible to actively monitor and apply this regulation including posting appropriate signage. Clinics shall provide sufficient inside seating to accommodate all patients or business invitees and those who accompany such persons.
(5)
Parking. The number of parking spaces required for pain management clinics shall be the same as for those required of medical offices. The pain management clinic shall ensure that vehicles do not queue in the right-of-way or on nearby properties.
(6)
Alcoholic beverages. No consumption of alcoholic beverages may occur on the premises of a pain management clinic, including outside any building.
(e)
Signage.
(1)
Approved signage for a pain management clinic shall not include any word(s) or phrase(s) which offers or suggests goods, drugs, prescriptions or services in violation of any applicable state law or which otherwise violates state law, including without limitation, the provisions of F.S. §§ 456.037 (active license required), 456.057 (patient records requirements), 458.3265 (pain management clinic registration - MD), 458.327 (medical practice violations and penalties), 458.331 (medical disciplinary actions), 459.0137 (pain management clinic registration - DO), 459.013 (osteopathic practice violations and penalties), 459.015 (osteopath disciplinary actions), 465.0276 (dispensing practitioners) or 893.055 (drug monitoring program), as currently written or amended.
(2)
Signage for a pain management clinic shall not contain any word or phrase that uses the word "pain" or "detox", unless the clinic is operated by an approved pain specialist or as an AHCA licensed operation (F.S. Ch. 400, pt. X). No off-premises signage, including billboards wherever located, shall be permitted for the advertisement of pain management clinics.
(3)
Signage for a pain management clinic must contain the correct name of the physician or physicians designated by the clinic pursuant to F.S. §§ 458.3265(1) or 459.0137(1), as amended from time to time, and such signage shall be kept current at all times with the correct name of the practice, the correct name of the physician(s) designated, and other relevant information.
(4)
Nothing contained in this section shall be interpreted to restrict the use of the word "pain" in advertising by Florida licensed chiropractors, physical therapists, nurse practitioners, naturopaths, acupuncturists, massage therapists, dentists, oral surgeons, hospice care providers or similar treating or dispensing professionals not licensed under F.S. ch. 458 or 459.
(f)
Landlord responsibilities. Owners or landlords who lease space to a pain management clinic must expressly incorporate the provisions of sections 1-53-6.18 et seq., into their lease(s) with the clinic. Any such lease, whether oral or written, must provide that a violation of any federal or state law or county ordinance regulating or affecting pain management clinics shall be a material breach of the lease and shall constitute grounds for termination and eviction by the owner or landlord. This provision shall apply only to leases entered into or renewed on or after March 15, 2012.
(g)
Prohibited activities. Each of following activities shall be prohibited and shall constitute a violation of this Code:
(1)
Operation of a pain management clinic without a valid and current permit issued pursuant to this section.
(2)
Operation of a pain management clinic without a valid and current business tax receipt;
(3)
Operation of a pain management clinic without a valid and current registration pursuant to F.S. §§ 458.3265(1) or 459.0137(1), unless such clinic is exempt from registration under such statutes;
(4)
Submittal of a permit application, any sworn statement, or any other information required by this section, which contains materially false information;
(5)
Operation of a pain management clinic in violation of a sworn statement submitted pursuant to sections 1-53-6.18(h)(2)g or 1-53-6.18(h)(3)e.
(6)
Operation of a pain management clinic in violation of applicable law, including any provision of section 1-53-6.18, et seq.;
(7)
Prescribing or dispensing of controlled substances in violation of applicable law;
(8)
Activity within a pain management clinic with respect to a controlled substance which is in violation of the standards of practice set forth in F.S. § 456.44(3);
(9)
Operation of a pain management clinic in violation of the facility and physical operations requirements, the infection control requirements, the health and safety requirements, the quality assurance requirements or the data collection and reporting requirements set forth in F.S. § 458.3265(2)(f)—(j) and 459.0137(2)(f)—(j);
(10)
Prescribing, administering or dispensing a controlled substance without a valid and current controlled substance registration number issued by the United States Department of Justice, Drug Enforcement Administration;
(11)
Continued leasing or permitted use of a property or structure which is used as a pain management clinic if (a) the landlord or property owner knows, or through the exercise of reasonable care should know, that the clinic is being operated in violation of applicable law, and (b) despite the passage of a reasonable period of time to do so, the landlord or property owner has failed or refused to take reasonable measures to stop or prevent the continued illegal activity on the premises; or
(12)
Failure to advise the department of any change in any information, statements, facts or circumstances, as required by subsection 1-53-6.18(h)(11).
(h)
Permit required for operation of pain management clinic.
(1)
Permit required. On or after March 15, 2012, no pain management clinic shall operate by any means in Hendry County without a valid and current pain management clinic permit issued by the department; provided, however, that any pain management clinic in existence as of the effective date of this section shall have 60 days to obtain a valid and current pain management clinic permit.
(2)
Application. Any pain management clinic requesting issuance of a pain management clinic permit shall complete and submit to the department a sworn application, on a form provided by the department, containing, at a minimum, the following information:
a.
The name and address of the pain management clinic;
b.
The name and address of each owner of the pain management clinic (including, if the owner is a business entity such as a corporation, limited liability company, etc., the name and address of each officer, manager or managing member, general partner or other comparable person authorized by state law to manage the affairs of the business entity), each person who will be managing or supervising the activities of the pain management clinic, and each person who will be prescribing or administering controlled substances at the pain management clinic;
c.
The name and address of the person who has been designated as the responsible physician or osteopathic physician for the pain management clinic, pursuant to F.S. § 458.3265(1)(c) or 459.0137(1)(c);
d.
The name and address of the person or entity which owns the real property upon which the pain management clinic will be operated;
e.
Proof that the applicant is currently registered as a pain management clinic with the Florida Department of Health, pursuant to F.S. §§ 458.3265 or 459.0137;
f.
Proof that any person who will be prescribing or administering controlled substances at the pain management clinic has a valid and current controlled substance registration number issued by the United States Department of Justice, Drug Enforcement Administration, including the controlled substance registration number for each such person;
g.
A sworn statement certifying that within the ten years prior to submittal of the application, neither the pain management clinic, nor any person identified pursuant to subsections (b), (c) or (d) above, has been found by any county or municipal board, commission or council, or by any state or federal court, or by any state or federal regulatory body, to have acted with respect to controlled substances in violation of applicable law; and
h.
A sworn statement certifying that the pain management clinic, and every other clinic owned or operated by any person identified pursuant to subsections (b), (c) or (d) above, will, during the term of the permit, be operated in compliance with applicable law.
(3)
Abbreviated application for qualified pain management clinics. In lieu of completing the application form described in subsection (2), a qualified pain management clinic requesting issuance of a pain management clinic permit may complete and submit to the department a sworn application, on a form provided by the department, containing, at a minimum, the following information:
a.
The name and address of the pain management clinic;
b.
The name and address of the owner of the pain management clinic;
c.
The name and address of all physicians who will be prescribing controlled substances at the pain management clinic;
d.
Proof that the pain management clinic meets the definition of a "qualified pain management clinic" which proof may consist of written verification or confirmation from the State of Florida that the pain management clinic is exempt from State registration pursuant to F.S. § 458.3265(1)(a)2g or h or 459.0137(1)(a)2g or h; and
e.
A sworn statement certifying that the pain management clinic, and every other clinic owned or operated by any person identified pursuant to subsections (2) or (3) above, will, during the term of the permit, be operated in compliance with applicable law.
(4)
Permit application fee. A permit application fee shall be paid by the applicant at the time of submittal of the application, including renewal. The amount of the fee shall be set by resolution of the board. The amount shall be sufficient to recover the county's approximate cost of reviewing and acting upon the application.
(5)
Denial of application. The application for a pain management clinic permit shall be denied if any of the following facts are found to exist and are not cured within ten days of written notice of such deficiency:
a.
The applicant fails to pay the required permit application fee; or
b.
The applicant fails to submit all information and statements required in subsection (2) or (3) above, or the applicant has submitted such information and statements but such information and statements are found to contain materially false information.
(6)
Issuance of permit. The department shall issue the permit within 20 days of submittal of a fully complete application, if the applicant has submitted all information required in subsection (2) or (3) and none of the facts set forth in subsection (5) is found to exist.
(7)
Term of permit. A pain management clinic permit shall remain in effect for a term of two years. Thereafter, a permit shall be subject to renewal in the same manner that permits are issued initially as set forth in subsections (2) through (6).
(8)
Appeal. If an application for issuance or renewal of a pain management clinic permit is denied, the applicant shall have the right of appeal as set forth in part II, section 2-10-25 of the Hendry County Code. An appeal fee shall be paid by the applicant at the time of filing an appeal to the board. The amount of the fee shall be set by resolution of the board. The amount shall be sufficient to recover the county's approximate cost of reviewing and acting upon the appeal.
(9)
Revocation of permit. A pain management clinic permit shall be subject to revocation in code enforcement proceedings before an appropriate tribunal, in the event that:
a.
The information or statements submitted to obtain issuance or renewal of the permit contained materially false information;
b.
The permit holder, or any pain clinic responsible party, has violated any provision in this section;
c.
The permit holder, or any pain clinic responsible party, has been found by any county or municipal board, commission or council, or by any state or federal court, or by any state or federal regulatory body, to have acted with respect to controlled substances in violation of applicable law; or
d.
The permit holder, although required to be registered, is no longer registered with the Florida Department of Health, pursuant to F.S. §§ 458.3265 or 459.0137, or no longer holds a current business tax receipt for a pain management clinic, or the controlled substance registration issued by the United States Department of Justice, Drug Enforcement Administration to any person prescribing, administering or dispensing controlled substances at the pain management clinic has been suspended, revoked or denied renewal.
(10)
Emergency suspension of permit. Upon clear and convincing proof that one or more of the events set forth in subsection (9) have occurred, and upon a finding that continued operation of the pain management clinic presents an immediate danger to the health, safety and welfare of the residents of Hendry County, the department shall be authorized immediately to suspend the pain management clinic's permit. In such event, the permit holder shall have the right of appeal as set forth in part II, section 2-10-25 of the Hendry County Code. All aspects of the appeal shall be expedited. An appeal fee shall be paid by the applicant at the time of filing an appeal to the board. The amount of the fee shall be set by resolution of the board. The amount shall be sufficient to recover the county's approximate cost of reviewing and acting upon the appeal. Any emergency suspension pursuant to this subsection shall continue for a period not to exceed six months; provided, however, that if revocation of the permit is sought, the tribunal before which the revocation request is pending may extend the suspension beyond six months until completion of the revocation proceedings, if necessary to protect the health, safety and welfare of the residents of Hendry County.
(11)
Change in information or statements. The permit holder shall notify the department in writing of any change in any information or statements submitted pursuant to subsections (h)(2)a—h or (h)(3)a—e above, or of any change in any facts or circumstances such that any information or statements submitted pursuant to subsections (h)(2)a—h or (h)(3)a—e are no longer completely true and accurate. Such notification shall be provided within 30 days of the change.
(i)
Business tax receipt for pain management clinic. No pain management clinic shall operate by any means in Hendry County without having been issued a valid and current business tax receipt pursuant to this section and chapter 1-12, article IV, Hendry County Code. As a condition of issuance of a business tax receipt for a pain management clinic, the owner or operator shall (a) provide proof that it holds a valid and current permit issued pursuant to section 1-53-6.18(h), and (b) execute and deliver to the tax collector a sworn statement containing substantially the same certifications as the statements required by subsections 1-53-6.18(h)(2)g and h or 1-53-6.18(h)(3)e. If, during the term of the business tax receipt, the pain management clinic no longer holds a valid and current permit issued pursuant to section 1-53-6.18(h), or operates contrary to the sworn statement, or engages in any activity prohibited by section 1-53-6.18, et seq., the business tax receipt shall be subject to revocation by the tax collector or by a court of competent jurisdiction.
(j)
Onsite dispensing of controlled substances at pain management clinic prohibited. The onsite dispensing of controlled substances at a pain management clinic is prohibited, unless specifically authorized by applicable law.
(k)
Inspections. To the extent permitted by law, staff charged with the enforcement of this section shall have the right to enter upon the premises of a pain management clinic and conduct such inspections as are reasonably necessary to determine compliance with the requirements of section 1-53-6.18, et seq.
(l)
Enforcement. Any county code enforcement officer or law enforcement officer is authorized to investigate and enforce the provisions of this section.
A pain management clinic, pain clinic responsible party, landlord or property owner found to be in violation of this section, and any other person found to have actively participated in a violation of this section, shall be subject to any one or more of the following penalties or remedies, in addition to any other penalty or remedy available in law or in equity:
(1)
As provided in section 1-1-8 of the Hendry County Code; or
(2)
Suspension, revocation or non-renewal of the pain management clinic permit or business tax receipt; or
(3)
An order, injunction or other relief necessary to prevent the continued operation of the pain management clinic in violation of section 1-53-6.18, et seq., including, without limitation, an order requiring the pain management clinic to terminate all operations in Hendry County; and
(4)
Notwithstanding the above, no penalty imposed hereunder for any act constituting a violation of state law shall exceed the penalty provided by state law for such act.
Enforcement may occur through proceedings before any tribunal with authority to enforce the Hendry County Code.
(m)
Conformity to state and federal law. Whenever in section 1-53-6.18, et seq., reference is made to a state or federal statute, rule or regulation, or a definition is utilized that is based upon a state or federal statute, rule or regulation, the intent is to refer to such statute, rule or regulation, or utilize such definition, as amended from time to time.
(n)
Geographic application. Section 1-53-6.18, et seq., with the exception of section 1-53-6.18(b), shall apply throughout the incorporated and unincorporated areas of Hendry County, except to the extent that a municipality has adopted or adopts an ordinance in conflict with this section.
(o)
Implementation in municipalities. To the extent that this section applies within an incorporated municipality, the municipality shall perform those actions, and shall be authorized to perform those actions, which are required or authorized to be performed by the county hereunder. Such actions may be performed by (a) the municipal board (including the municipal council), department, official or employee whose purpose and function most closely resemble that of the county board, department, official or employee required or authorized to perform the action hereunder, or (b) by any other municipal board (including the municipal council), department, official or employee designated by the governing body of the municipality. All actions with respect to business tax receipts, as set forth in section 1-53-6.18(i) or otherwise, shall be performed by the municipal official or staff responsible for performing such actions with respect to business tax receipts within the municipality. Notwithstanding the above, the county and the municipality shall have concurrent jurisdiction to enforce this section with respect to violations occurring within the municipality.
(p)
Cooperation among public entities and agencies. All public entities and agencies having jurisdiction with respect to the subject matter of this section, including, without limitation, the county, the municipalities and all law enforcement agencies, are urged to cooperate and coordinate their efforts to implement and enforce this section in an effective and consistent manner.
1-53-6.19. Airport Operations Planned District (AOPD).
(a)
Purpose of district. The Airport Operations Planned District (AOPD) will provide the regulations for the operation, and expansion of Airglades International Airport (AIA). The district provides for economic development related to AIA including normal accessory uses meant to support a commercial cargo airport such as businesses and industry.
The AOPD shall be developed in accordance with specific land use and site design standards contained herein. Specific standards are established for areas within the AOPD which are to be accessible to the general public (non-secure) as well as those that are to be secured via a perimeter fence (secure). The secure area of Airglades International Airport is that area inside a fence that is not open to the public and is restricted through gates, security or signage. Where specific land use and site design standards are not contained herein, the standards of the Hendry County Land Development Code shall apply.
(b)
Non-secure area standards. Use and site design standards within the non-secure area of the AOPD are as follows:
(1)
Uses permitted. The allowable uses within the non-secure area of the AOPD include those listed below. When a use is not listed but is similar in nature in all its components to permitted or permissible uses, the use may be considered either permitted or permissible by the planning and community development director. Permitted uses within the non-secure area of the AOPD include:
a.
Above-ground water storage facilities for domestic and fire protection purposes;
b.
Accessory uses, buildings and structures that are customarily incidental and subordinate to the principal use of the structure or premises;
c.
Administrative offices;
d.
Agriculture;
e.
Aircraft engine test cell facility (if not related to airport operations must meet the noise control regulations in chapter 1-14.5);
f.
Aircraft food services and catering;
g.
Aircraft rescue and firefighting (ARFF) facility;
h.
Airfield maintenance facilities;
i.
Asphalt or concrete batch plant (only permitted during on-site construction);
j.
Automatic teller machine (ATM);
k.
Bus station or depot;
l.
Car/truck wash;
m.
Cafeteria;
n.
Cleaning and maintenance services;
o.
Commercial parking lot or garage;
p.
Commercial or trade schools;
q.
Convenience commercial;
r.
Convenience food and beverage store;
s.
Emergency operations center;
t.
EMS, fire, or law enforcement station;
u.
Entrance gates, gatehouses and security facilities;
v.
Essential public or utility facility;
w.
Essential service facilities;
x.
FAA required navigational aids, including antennas and approach lighting systems;
y.
Fences, walls;
z.
Food and beverage service;
aa.
Food truck (shall not block access, clear zones of roadways or circulation of traffic);
bb.
Freight and cargo handling establishments;
cc.
Fuel facilities including above-ground fuel storage;
dd.
Gasoline sales and service, combination gasoline sale and food marts, and similar facilities;
ee.
General aviation terminal facility;
ff.
Ground support equipment (GSE) facilities;
gg.
Hotel or motel;
hh.
Light industry;
ii.
Manufacturing of non-hazardous goods and materials;
jj.
Parcel and express services;
kk.
Parking, public or private, surface lot or parking garage;
ll.
Professional service or office;
mm.
Public and commercial transportation services including taxi dispatch, bus and tram depots, and motor freight;
nn.
Radio antennas and satellite stations when accessory to a principal use;
oo.
Railroads and railroad infrastructure;
pp.
Repair shops;
qq.
Aerospace and transportation related research and development laboratories;
rr.
Restaurant, fast food, other than those with drive-through facilities;
ss.
Restaurant, standard, other than those with drive-through facilities;
tt.
Self-service fuel pumps;
uu.
Signs;
vv.
Solar energy generation facility (not to exceed 75 megawatts);
ww.
Storage, indoor;
xx.
Storage, open;
yy.
Trucking terminals;
zz.
Warehouse and distribution facilities;
aaa.
Wastewater treatment facilities.
(2)
Uses prohibited. Except as specifically permitted in this division, the following uses are expressly prohibited as either principal or accessory uses:
a.
Any activity or structure that would conflict with section 1-53-6.13, Airports, of the Hendry County Land Development Code (LDC) or its successor ordinance.
b.
Auto salvage/junkyards.
c.
Recycling facilities.
(3)
Supplemental development standards.
a.
Maximum building height and structure height within the non-secure area of the AOPD shall be limited to 100 feet.
b.
All development within 1,000 feet of the State Road 80 right-of-way and within a non-secure area of the AOPD shall be developed in accordance with the standards of the Gateway Overlay District as established in chapter 1-58, article II of the Hendry County Land Development Code.
c.
Every lot shall be not less than 100 feet in width, 100 feet in depth and not less than 10,000 square feet in area. The lot area is determined to be the lease area of land within the non-secure area of the AOPD.
d.
No building or roofed structure shall be located less than 40 feet from its front lot line, 15 feet from its side lot line, and 20 feet from its rear lot line. The lot line is determined to be the lease area of land within the non-secure area of the AOPD.
e.
No more than one-half of the depth of any required setback area measured from a street right-of-way or easement may be used for parking and such parking shall be located on the half of the required setback furthest from the street right-of-way, easement or lease boundary. The balance of the setback area shall be landscaped and used for no other purpose.
f.
All required setback areas, except where used for permitted parking, shall be landscaped. Parking may be developed in the setback provided it does not encroach into the required landscape buffer area.
g.
Signs, light standards, and fences shall be permitted in required building setback areas as hereinafter specified but cannot be closer than five feet from the lease boundary.
h.
All fences and walls shall be constructed of concrete, masonry, or metal. Metal fences shall be of the open-weave, chain-link type. Fences and walls shall not exceed ten feet in height. Additional height may be permitted to accommodate three strands of barbed wire. Fences and walls shall not be located within any setback required from a lease line. The planning and community development director may approve fences to be located within the setback area if the required landscaping and streetscaping are provided and the visibility triangle is not negatively impacted.
i.
Open space and landscaping.
1.
Minimum open space. Each lot shall provide no less than five percent of its area in open space. The open space area shall be landscaped with grass, ground cover, or appropriate landscaping materials. The required buffer areas and landscaping may be credited towards the landscaped open space area calculations. The area between the building and the street shall be used for open space and green areas to the greatest extent possible, taking into account necessary parking. All landscaping shall be completed prior to issuance of a certificate of occupancy with respect to the building constructed or erected.
2.
Landscaping shall be provided adjacent to public roads in non-secure areas of the AOPD and shall be installed prior to issuance of a certificate of occupancy. Landscaping shall comply with chapter 1-58, article III of the Hendry County Land Development Code. Any development along Airglades Boulevard will provide landscaping consistent with landscaping requirements set forth in section 1-53-6.17(d)(6)b. of the Hendry County LDC.
3.
Alternate landscape betterment plan. Applications pursuant to this section and LDC section 1-58-41 may propose an alternate landscape betterment plan if it can be demonstrated that the plan still meets the landscaped open space and the streetscape requirements. Considerations for a betterment plan may include, but are not limited to, water conservation designs, larger trees at planting, and greater open space areas. Required side and rear yard buffering between individual lots in accordance with LDC section 1-58-41 may be amended through an alternate landscape betterment plan if the uses are similar or it is shown to create an operational hardship. For example, such amendments may include requiring buffering on the first lot to obtain a site development plan (SDP) and not on the adjacent lot. This amendment would be an example of minimizing the need for irrigation and therefore creating water conservation measures.
j.
All outside storage of materials, supplies, products, loading docks, equipment or machinery, except automobiles, shall be screened from direct view at ground level from any public street.
k.
It is intended that driveways on public streets under the jurisdiction of the State of Florida outside the AOPD will be consistent with FDOT access requirements. Access connection spacing shall be a minimum of 1,320 feet on Flaghole Road, and with full median openings every 2,640 feet upon the four laning of Flaghole Road. However, an access connection/full median opening is permitted 2,200 feet south of the SR80/US27 intersection. This provision does not preclude the county from having an access connection to Flaghole Road to access its properties and said access connections shall not be subject to the access spacing requirements or affect the spacing requirements for access to Airglades Airport.
l.
All parking within the AOPD shall be in designated parking areas. Parking spaces shall be constructed with dimensions of nine feet by 18 feet. Designated parking areas shall be constructed with aisle widths of 24 feet for parking stalls angled at 90 degrees.
m.
All signage shall comply with the Hendry County Land Development Code.
n.
Stormwater management systems shall be designed with a 4:1 slope and shall to be graded from the top-of-bank to a break-point at least six feet below the control elevation of the excavated area. Below this break-point, slopes shall be no steeper than 2:1 to the bottom of the excavation. Dry detention systems may be a minimum of 2:1 slope.
(Ord. No. 2011-05, § 1, 5-10-2011; Ord. No. 84-5, §§ 14, 17, 10-9-1984; Ord. No. 85-2, § 2, 4-9-1985; Ord. No. 91-23, § 3(53-6), 8-27-1991; Ord. No. 91-25, § 1, 12-16-1991; Ord. No. 96-01, § 3, 2-13-1996; Ord. No. 97-04, § 2, 2-11-1997; Ord. No. 98-11, §§ 1, 2, 11-24-1998; Ord. No. 2006-14, § 1, 5-23-2006; Ord. No. 2008-22, §§ 15—21, 11-12-2008; Ord. No. 2009-10, § 1, 5-12-2009; Ord. No. 2007-13, §§ 1—4, 7-10-2007; Ord. No. 2010-02, § 11, 1-12-2010; Ord. No. 2010-15, § 1, 4-27-2010; Ord. No. 2011-05, § 1, 5-10-2011; Ord. No. 2012-03, § 4, 2-28-2012; Ord. No. 2012-05, § 1, 3-27-2012; Ord. No. 2012-11, § 1, 4-24-12; Ord. No. 2016-02, § 1, 1-12-16; Ord. No. 2016-05, § 1, 2-23-2016; Ord. No. 2016-18, § 1, 9-27-2016; Ord. No. 2018-11, § 1, 5-22-2018; Ord. No. 2019-19, § 1, 7-16-2019; Ord. No. 2019-32, § 1, 11-12-2019; Ord. No. 2020-07, § 1, 4-14-2020; Ord. No. 2020-28, § 1, 11-10-2020; Ord. No. 2021-24, § 1(Exh. A), 11-9-2021; Ord. No. 2021-25, § 1(Exh. A), 11-9-2021; Ord. No. 2022-05, § 1(Exh. A), 3-22-2022; Ord. No. 2023-05, § 1(Exh. A), 4-11-2023)
Supplemental regulations.
The following regulations supplement the general regulations above as applied to specific uses and activities:
1-53-6.1. Home occupations.
(a)
Purpose and intent. Some types of work can be conducted at home with little or no effect on the surrounding neighborhood. It is the intent of this section to allow the operation of home occupations as an accessory to the primary use in any residential dwelling unit. The following conditions are intended to allow residents to engage in a home occupation while ensuring that it does not become a detriment to the character and livability of the surrounding area.
(b)
General conditions for home occupations. The following conditions must be met and complied with by all operators of any home occupation.
(1)
Home occupations shall be conducted by a resident of the principal dwelling unit. A total of two employees or independent contractors who do not reside at the residential dwelling may work at the business. The business may have additional remote employees who do not work at the residential dwelling.
(2)
The principal use of the dwelling unit shall at all times during the conduct of the home occupation remain residential.
(3)
The home-based business may not conduct retail transactions at a structure other than the residential dwelling; however, incidental business uses and activities may be conducted at the residential property.
(4)
Any signage shall comply with section 1-56-7, Signage in residential and agricultural districts.
(5)
There shall be no exterior indication that the dwelling is being used for any purpose other than a residence, other than the allowed signage. Examples of prohibited alterations include, but are not limited to, construction of parking lots, paving of yards, or adding commercial-like lighting. In addition, all interior and exterior alterations must be properly permitted, as required.
(6)
All outside storage of materials used in connection with the home occupation must comply with section 1-58-94, Exterior storage, accessory structures and fences.
(7)
No equipment shall be used in connection with a home occupation which creates noise, vibration, glare, fumes, odors, electrical interference, or requires the storage or disposal of any corrosive, combustible, or other hazardous or flammable materials or liquids which are not typically incidental to a residential use.
(8)
Any operator of a home occupation must obtain, and keep current for as long as the home occupation is in operation, a business tax receipt from the Hendry County Tax Collector, also known as the "local business tax receipt".
(9)
The need for parking generated by the business may not be greater in volume than would normally be expected at a similar residence where no business is conducted. Vehicles and trailers used in connection with the business cannot be parked within the right-of-way, on or over a sidewalk, or on any unimproved surfaces at the residence. All parking of commercial vehicles must comply with section 1-53-6.11(e), Storage and/or parking of commercial vehicles.
Cross reference— Licenses, permits and business regulations, ch. 1-12.
1-53-6.2. Nonallowable residential units.
(a)
No recreational vehicle, boat, bus, shed or other similar thing shall be used as a permanent residence. A vehicle which is not designed as such shall not be used as a temporary or permanent residence.
(b)
No mobile home, recreational vehicle, bus, or other similar vehicle shall be used as an office, storage facility, shed, workshop, or shelter for livestock or pets.
1-53-6.3. Fences and walls.
(a)
Perimeter fences and walls may be permitted along property lines. Internal fences and walls are permitted in addition to perimeter fences and walls provided adequate provision is made for any easements. Permits are required for residential, commercial and industrial fences pursuant to LDC section 1-58-122.
(b)
No fence or wall in a residential district shall exceed six feet in height except by a variance. No fence or wall in a commercial or industrial zoning district shall exceed eight feet in height except by a variance. Fence height shall be measured from finished grade. If a retaining wall is required to achieve finished grade, then the fence shall be measured from the top of the retaining wall. In rear and side yards, the director has the discretion to allow a deviation in height where required to compensate for variations in grade or drainage.
(c)
No fence, wall or other structure or vegetation shall be permitted over 30 inches in height above the average road grade in a sight distance triangle. Such sight distance triangle shall consist of the area bounded by (i) the edge of pavement of a road (or the edge of an unpaved road), (ii) the edge of pavement of an intersecting road or driveway (or the edge of an unpaved road or driveway), and (iii) an imaginary line connecting the other two lines at points 25 feet from their intersection.
(d)
Fences and walls shall consist of, but shall not be limited to, the following conventional and traditional materials: Wood, concrete, brick, stucco, picket, basket weave, split rail, plank, panels, woven saplings, cast or wrought iron, chain link, PVC, or vinyl. A combination of these conventional and traditional materials may be permitted. Non-traditional materials, including but not limited to tires, wood pallets, plywood, hubcaps, etc., are prohibited. Fabric sheets or nets, or plastic, metal or vinyl sheets may not be used as part of the fence, except in commercial and industrial zoning districts for the purpose of required screening only and shall be maintained in good condition.
(e)
Fences and walls must be constructed to present the finished side of the fence or wall to the adjoining lot or any abutting right-of-way. Where there is an existing fence, wall or continuous landscape hedge on the adjoining parcel, this provision may be administratively waived upon written request.
(f)
Barbed wire fencing shall be allowed in agriculture zoning districts. Rural residential and rural residential farm zoning districts may have field fence, hog wire and/or barbed if farm animals are kept on the property. The use of three strands of barbed wire on top of a fence may be permitted in commercial and industrial zoning districts only when used for outdoor storage areas and/or security purposes.
(g)
Farm fences qualifying for the exemption from regulation in F.S. § 604.50 shall not be subject to the requirements and limitations set forth herein.
1-53-6.4. Churches. Churches and related facilities shall be permitted in any district by special exception. A special exception shall be granted upon a showing that the proposed church meets the following criteria:
(1)
The church property shall have direct access to a paved road or to a county-maintained road.
(2)
All structures used for worship, assembly, classrooms, dormitories, and recreation (but not including a parsonage or any utility buildings), and any outside play areas, must meet the setbacks as prescribed in the zoning district in which the church is located.
(3)
A parsonage may be permitted as an accessory to the church in those districts permitting dwelling units or where the church property exceeds five acres.
(4)
A mobile home may be used as a dwelling for clergy on the same premises as a church, provided that mobile homes are allowed as a permitted use in the zoning district in which the church is located, and provided that the mobile home meets all open space, setback and other requirements.
1-53-6.5. Community residential homes.
(a)
Purpose. This section is intended to provide reasonable standards and procedures for the development of community residential homes (also referred to as "group homes," "halfway houses," etc.) consistent with the requirements of F.S. ch. 419.
(b)
Minor community residential homes. Prior to the issuance of a certificate of occupancy, the operator of a minor community residential home or the owner of the property shall provide the community development director with a statement certifying that the use is in compliance with the restrictions set out in F.S. § 419.001(2), and in particular with the prohibition on the location of such a use within 1,000 feet of an existing minor community residential home. Failure to maintain licensure by the applicable state agency, failure to limit occupancy to six qualifying residents, and/or failure to meet the standards of F.S. § 419.001 or any standard of the county applicable to single-family dwellings shall result in the revocation of the certificate of occupancy and require the abandonment of the use.
(c)
Procedure for approval of community residential homes. An application for special exception shall be accompanied by the information identified in F.S. § 419.001(3)(a), including all information identified as being the responsibility of the applicable state agency. The community development director shall review the materials submitted and determine that the submission complies with the requirements of F.S. § 419.001 and with the requirements for multifamily development as set out in this chapter. In considering its action on the request, the LPA and the board of county commissioners shall, in addition to the requirements and standards for multifamily dwellings as set out in this code and in the comprehensive plan, consider the standards and provisions of F.S. § 419.001(3)(b) and (c) and F.S. § 419.001(4).
(d)
Revocation of certificate of occupancy for community residential home. After approval of a community residential home, failure to maintain licensure by the applicable state agency, failure to limit occupancy to 14 qualifying residents, and/or failure to meet the standards of F.S. § 419.001, or any standard of the county applicable to multifamily dwellings, shall result in the revocation of the certificate of occupancy and require the abandonment of the use.
1-53-6.6. Mobile homes.
(a)
Prerequisites for set-up and occupancy.
(1)
No person shall set up and/or use a mobile home on either a temporary or permanent basis, except as follows:
a.
No mobile home shall be occupied or used unless the site and the mobile home have been issued necessary permits, and the mobile home has been tied down as required by chapter 1-58 and connected to electricity, water (or an approved well), and sewer (or an approved septic system) subject to the provisions of chapter 1-58.
b.
No mobile home shall be occupied for more than 30 days or used unless skirting has been installed around the entire perimeter. Skirting shall consist of metal, plastic or wood material permanently attached, and may include completely opaque or semi-opaque material. Skirting shall be capable of limiting access to the underside of the unit, preventing uplifting of the unit from strong winds, and reducing visibility of the area beneath the unit.
c.
Units stored prior to delivery or set-up or displayed in a permitted sales lot need not be tied down and skirted, be connected to utilities or be occupied. However, permanent display units may be connected to utilities and occupied in connection with a permitted mobile home sales establishment.
(2)
Prior to the issuance of a site and set-up permit, a plot plan showing the proposed location of the mobile home and a letter from the county health department approving any proposed septic and well locations on that plot plan must be submitted to the building department. If the mobile home is to be hooked to a central sewage system, authorization from the operator of that system must be provided. The applicant shall provide evidence that the mobile home will not violate the provisions of chapter 1-55, article II of this code.
(b)
Relocation of mobile homes not meeting standards of manufacture. A mobile home not meeting the standards of manufacture set forth in the description of "mobile home" in section 1-53-2.2 shall not be moved into the county or relocated within the county for the purpose of occupancy and use except as follows:
(1)
Such a unit may be relocated from one space to another within an approved mobile home park.
(2)
Such a unit may be relocated within the same parcel or lot of record.
(3)
Such a unit may be relocated within the county, after inspection by the building official and or his designee. The building official shall require such repairs and improvements to the structure as are necessary for the structure to be a safe and habitable living unit.
(c)
Evidence of compliance; inspection.
(1)
For mobile homes less than five years old at the time a set-up permit is issued, the building official may accept the sticker affixed to the mobile home (pursuant to U.S. Department of Housing and Urban Development regulations, see section 1-53-2.2) as evidence of compliance with regulations applicable to the design and manufacture of the unit. If the building official has good cause to believe that the unit has been modified in any way, he shall require adequate documentation and/or an inspection to confirm that any modification is in compliance with applicable regulations. Such inspection shall be provided by the applicant at his cost and shall be made by a qualified inspector.
(2)
Before a set-up permit can be issued for a mobile home which was manufactured five or more years before the permit date, the mobile home shall be inspected by the county building department for structural integrity and defects. The building official may require that any defects found by the inspection be remedied prior to the issuance of a permit or he may deny a permit if the defects cannot be readily eliminated.
Nothing herein shall be deemed to modify any requirements of the building code or other applicable codes which apply to accessory structures, permanent structures adjacent or attached to the unit, or the attachment of the unit to the site or to permanent utilities.
(d)
Time limit for obtaining permits; removal by building official. An owner of a mobile home, the property owner or another interested person must obtain all necessary mobile home and site permits within three business days from the time a mobile home is placed on any premises within the county other than on a permitted mobile home sales or storage lot. In addition to other remedies provided by this code, the building official may enforce this subsection by causing a mobile home which has not obtained the necessary permits within three business days to be removed from the premises and stored under his control. The costs of removal and storage, as well as permit fees due, shall become a lien on the mobile home and shall be payable before its return from the control of the building official. Before taking control of and removing a mobile home under this subsection, the building official shall cause a notice of such intent to be posted on the mobile home for two business days prior to its removal, and shall attempt to notify the owner of the mobile home and the owner of the property, if either or both are reasonably ascertainable, by the most reasonable method available prior to the removal.
(e)
Penalty for failure to obtain permits. Any person who fails to obtain a set-up permit within 14 days from the time a mobile home is placed on any premises within the county, or who removes, causes to be removed, or transports from a site the tongue, the springs, the axles, or the wheels of a mobile home before the mobile home site and set-up permit has been obtained for that mobile home and site, shall be deemed to be in violation of this code and shall be subject to a civil fine of $500.00. This fine may be levied by the county code enforcement officer under the procedures set forth in chapter 1-51 of this code.
(f)
Permit fees. Mobile home site and mobile home permit fees shall be set by and may be amended by resolution of the board of county commissioners. The board may establish a fee schedule which sets lower permit fees for applicants who obtain all site and mobile home permits before moving the mobile home onto the site.
(g)
Importation of mobile homes over five years old.
(1)
Applicability. This section shall apply to the importation of all mobile homes of five years old into the county.
(2)
Regulations.
a.
Any person or entity bringing a mobile home over five years old into the county must ensure that the mobile home will meet or exceed all county building official inspection requirements.
b.
Prior to bringing any mobile home over five years old into the county, a person or entity must submit a deposit of $500.00 and sign an affidavit and agreement, in substantially the form attached [to Ordinance No. 98-11]; this affidavit and agreement may be amended by administrative order, as required to comply with inspection laws and regulations that may be revised in the future, by the county and the state. The $500.00 deposit will be refunded if the mobile home passes inspection or is removed from the county at the applicant's expense. If the mobile home does not pass inspection and is not removed from the county, the $500.00 inspection fee shall be forfeited to the county and used for the disposal of the mobile home.
c.
Implementation of this section shall be by the building official who shall take all administrative actions to implement same.
(h)
Joinder of homes not designed therefor prohibited. It shall be unlawful for any person or organization to join two mobile/manufactured homes together if such mobile/manufactured home is not specifically designed, engineered and constructed by the manufacturer for such purpose.
(i)
Use of modular/manufactured buildings for professional, commercial or storage purposes; conversion to residential use.
(1)
A modular/manufactured building may be used for professional, commercial, or storage purposes provided the subject structure meets standards set forth in the Florida Manufactured Buildings Act of 1979, F.S. ch. 553, pt. IV, and meets engineering and design criteria applicable to the purpose for which such structure is to be used, as determined by the building official or his designated agent.
(2)
Any modular/manufactured building being converted for use as a residential structure shall meet the minimum standards for base equipment and facilities as set forth in the current edition of the Standard Housing Code.
Editor's note— At the direction of the county, former section 1-13-5.1 has been transferred to this section as subsection (g); such section was derived from Ordinance No. 98-11, §§ 1 and 2, adopted November 24, 1998. Former section 1-13-14 has been transferred to this section as subsection (h); such section was derived from Ordinance No. 84-5, § 13, adopted October 9, 1994. Former section 1-13-16 has been transferred to this section as subsection (i); such section was derived from Ordinance No. 84-5, § 17, adopted October 9, 1984, as amended by Ordinance No. 85-2, § 2, adopted April 9, 1985.
Cross reference— Mobile home parks, § 1-53-6.9.
1-53-6.7. Agriculture in nonagriculturally zoned districts.
(a)
Whenever property is rezoned by this chapter or any amendment hereto, agricultural uses existing on the property at the time of rezoning may be continued.
(b)
For any parcel of land in the county, regardless of zoning, which is at least five acres in size, agricultural uses may be recommenced after discontinuance within three years after discontinuance.
(c)
In accordance with table 53-1, new agricultural uses may be initiated on parcels zoned residential/rural development (rr) which are at least five acres in size, upon the issuance of a special permit. The application for a special permit must be accompanied by a fee as established by the board of county commissioners.
(1)
Notification procedures.
a.
The community development director, upon receipt of an application and fee, shall provide notification of the application as follows:
1.
To the building official, county administrator, the county engineer, county attorney, and the county commissioner in whose district the subject property is situated.
2.
To persons owning land within 750 feet of the subject property by first class mail.
3.
By posting a conspicuous notice on the subject property.
b.
The notice shall clearly and conspicuously state that, unless an objection is filed with the community development director within 15 days from the date of the postmark of the letter received from the county, the director may issue a special permit in accordance with this section.
c.
If a written objection is received, the matter shall be presented to the county commission for final decision at a public hearing. Notice of the public hearing shall be sent to each person who has previously received written notice by first class mail no less than ten days prior to the hearing, and notice shall be published in a newspaper of general circulation within the county no less than five days prior to the hearing.
(2)
Criteria for granting or denial of permit. The county shall consider the following criteria in reviewing the application:
a.
The allowance of the proposed agricultural use does not create a common law nuisance in respect to odor, noise and health or environmental hazards.
b.
The proposed use is compatible with surrounding uses.
c.
The proposed use can meet all applicable setback requirements contained in the Land Development Code.
d.
The proposed use will not deny any landowner who received notification of the ability to use their land in accordance with the rules, criteria, and regulations contained in the Land Development Code.
(3)
Appeal to board of county commissioners.
a.
In the event the community development director denies a permit after an application is made hereunder, the applicant may, within 15 days, appeal the denial to the board of county commissioners by completing a form provided by the community development director.
b.
An appeal filed under this section shall be decided by the board of county commissioners after a public hearing in which notice has been sent to each person who has previously received written notice by first class mail no less than ten days prior to the hearing, and such notice has been published in a newspaper of general circulation within the county no less than five days prior to the hearing.
c.
At or after such public hearing, the board of county commissioners may grant a permit to the applicant, grant a permit with conditions or deny the application.
(d)
There shall be no restriction or incidental gardening or horticultural activities accessory to residential use.
(e)
Domestic animals for household use only may be kept on parcels of any size in the residential/rural development (RR) zoning district, provided that the number of animals on a parcel may not exceed the number set forth herein:
(f)
Except as allowed by this section, no animals, other than common household pets for personal, noncommercial use by the occupants of a residence, may be kept on premises in any residential zoning district within the county.
(g)
Animal care. The following shall apply to the keeping of domestic farm animals for household use in the RR and RR-F zoning districts:
(1)
All animals shall be properly confined on the property. Barns, pens, or shelters for domestic farm animals must be set back a minimum of 15 feet from all property lines, except barns, pens or shelters containing hogs must be set back a minimum of 25 feet from property lines. All barns, pens, and shelters must be located behind the front corners of the dwelling. Fowl or poultry may be free ranging with proper fencing designed to contain the animals within the property boundaries. Fencing for animal enclosures may include barbed wire.
(2)
All animals shall be fed, watered, and cared for in a humane and proper manner.
(3)
The keeping of animals shall not be done in a manner which creates a common law nuisance or a nuisance described in the Florida Statutes or this Code.
(4)
Animal waste shall not be allowed to remain on the premises in amounts which cause a health or environmental hazard.
(5)
The portions of the property not encumbered by barns, pens or shelters shall be stabilized with landscaping and/or natural ground cover.
1-53-6.7A. Animal pens and similar structures in residential zoning districts. Except for those premises on which agricultural activity is allowed by subsection 1-53-6.7(a), (b) or (c), no outside cage, kennel, pen or other structure for the containment of animals shall be allowed in a residential zoning district except as provided in this section.
(1)
In all residential zoning districts other than RR, a single fence to contain dogs and/or cats and a shelter not exceeding eight square feet of floor or ground area shall be allowed. On parcels in excess of two acres, barns are allowed [not exceeding] 160 square feet per additional acre, or fraction thereof. Cages are allowed [not exceeding] an additional 50 square feet per acre, or fraction thereof.
(2)
In the RR zoning district, a barn not exceeding 250 square feet, necessary fences, and cages not exceeding 50 square feet of floor area shall be allowed.
Cross reference— Animal control, ch. 1-5.
1-53-6.8. Automobile service stations. Within the districts permitting automobile service stations as special exceptions, the following requirements shall apply:
(1)
Location. The property on which either an automobile service station or a convenience store that offers gasoline or other automotive fuels for sale is located shall not be within 150 feet of any residential district or any property containing a school, public playground, church, hospital, public library or institution for children or dependents.
(2)
Site requirements. An automobile service station site shall have a minimum frontage on a public street of 120 feet and a minimum area of 12,000 square feet. All buildings shall be set back 40 feet and all canopies set back 15 feet from all street right-of-way lines.
(3)
Vehicular access to site. Vehicular entrances or exits at an automobile service station shall:
a.
Not be provided with more than two curb cuts for the first 120 feet of street footage or fraction thereof.
b.
Contain an access width along the curbline of the street of not more than 40 feet as measured parallel to the street at its narrowest point, and not have the closest edge of any access drive located less than 100 feet from a street intersection along any arterial or collector street, less than 50 feet from a street intersection on a local street, or less than ten feet from adjoining property.
c.
Not have any two driveways or curb cuts any closer together than 20 feet at the right-of-way line or at the curb or edge of the pavement along a single street.
d.
Have all gasoline pump islands set back at least 30 feet from the right-of-way lines. Where a future widening line has been established, the setback line shall be at least 60 feet from the centerline of the street.
(4)
Use limitations. Uses permissible at a service station shall not include major mechanical and body work, straightening of body parts, painting, welding, storage of automobiles not in operating condition, or other work involving noise, glare, fumes, smoke or other characteristics to an extent greater than normally found in service stations. A service station is not a repair garage or a body shop.
1-53-6.9. Mobile home parks.
(a)
General provisions. A mobile home park may be permitted within an RG-3M zoning district upon review of the zoning board and approval by the board of county commissioners. Said approval shall be subject to compliance with all applicable provisions of this section.
(b)
Application requirements. Any person or organization proposing the development and operation of a mobile home park within the county shall be required to submit a master plan for the proposed development for review and consideration in accordance with the provisions of section 1-51-6. Said master plan shall be submitted in such number of copies as may be required, and shall contain the following information:
(1)
The legal description and boundary data of the entire area for which approval is sought.
(2)
A scaled designed layout of the entire park as proposed, showing the location, size, and configuration of all proposed mobile home sites, including the configuration and size of all concrete slabs, vehicular parking spaces, utility connections, and such other improvements as may be proposed for individual sites; location of roadways serving said sites; the location of recreation and open space facilities; the nature and location of facilities for the collection and removal of garbage and trash; the type and location of proposed community facilities and/or services; the location, type and extent of all proposed buffering and landscaping; the nature and location of facilities for sanitary sewer and/or wastewater package treatment plant; proposed location, size, and nature of office facilities, and resident manager/caretaker dwelling; the location, nature, and size of accessory uses or structures as outlined in subsection (c)(10); proposed storage facilities for general storage of equipment; and any special facilities which may be required such as site drainage and retention areas.
(3)
Entrances and exits of mobile home parks shall be designed for safe and convenient movement of traffic into and out of the park and so as to minimize marginal friction with free movement of traffic on adjacent streets and highways. All traffic into and out of the park shall be through such entrances and exits. No entrance or exit shall require a turn at an acute angle for vehicles moving in the direction intended, and radii of curbs and pavement at intersections shall be such to facilitate easy turning movements for vehicles (with trailers attached). No material impediment to visibility shall be created or maintained which obstructs or obscures the view of an approaching driver in the right lane of a street or highway within 100 feet where the speed limit is 45 miles per hour or more, or any portion of the approach line of the accessway within 25 feet of its intersection with the righthand lane of the street or highway.
(4)
The name, address, and telephone number of the owner and/or his agent, who may be contacted concerning information relative to the proposed application for development and operation of the mobile home park.
(c)
Minimum site requirements. Unless otherwise specifically provided by the board of county commissioners, each mobile home park within the county shall meet or exceed all applicable provisions of this section, and particularly the following requirements:
(1)
Each mobile home park shall be located upon a lot having an area of not less than ten acres and a minimum frontage of 175 feet upon a public street or highway; provided that said required area shall be reduced to exclude land within dedicated rights-of-way or road easements of record which, together with the subject lot, comprise an area equal to a quarter of a quarter of a quarter of a land section.
(2)
All entrance and exit roadways serving a mobile home park shall be spaced a minimum distance of 50 feet apart as measured between centerlines of such roadways, and no said roadway shall be nearer than 125 feet to the intersection of two public streets or highways, as measured between the centerlines of the park roadway and the intersecting street or highway.
(3)
All entrance and exit roadways serving a mobile home park shall be directly served by a paved road of a dust-free Portland cement type concrete, or a plant-mix bituminous material, acceptable to the county engineer, and having a minimum width of 12 feet for one-way traffic, or a minimum width of 24 feet where two-way traffic is proposed.
(4)
All mobile home sites shall be directly served by a paved road of a dust-free Portland cement type concrete, or a plant-mix bituminous material, acceptable to the county engineer, and having a minimum width of 12 feet for one-way traffic, or a minimum width of 24 feet where two-way traffic is proposed. The board of county commissioners may permit or require variations from this width requirement, based upon the particular design and means of vehicular circulation proposed. An additional vehicular parking area shall be provided for guest parking at a convenient location within the park, providing parking facilities at a ratio of one guest parking space for each two mobile home sites to be developed, and shall be stabilized with the same material as the roadway.
(5)
A minimum of eight percent of the gross site area of the mobile home park shall be set aside and developed as common use areas for open or enclosed recreation facilities. No mobile home site, required buffer strip, roadway, storage area, or utility easement shall be counted as meeting recreational purposes. Recreation areas and facilities shall be properly maintained and operated by the park management.
(6)
Adequate lighting shall be provided throughout the park in a manner and at such locations as to be consistent with the Hendry County lighting policy.
(7)
Each mobile home site shall have proper connection for water, sewage, and electrical service, provided by an underground utility service.
(8)
Each mobile home site shall contain a designated area for the parking of two automobiles.
(9)
Where appropriate, a utility easement shall be provided along the front and side of each mobile home site. Such easement shall not be less than ten feet in width along the front and not less than five feet along each side. No permanent structures other than pedestrian ways, benches, recreational facilities, picnic areas and lighting systems shall be located in such utility easement, and permitted structures shall be located so as not to impede maintenance of the underground utility facilities. All utilities shall be located within such easements, or in easements adjacent to roadway pavements or in buffer areas.
(10)
Management headquarters, recreation facilities, coin-operated laundry facilities, and other uses and structures customarily incidental to the operation of a mobile home park may be permitted as accessory uses to the park.
(11)
Each mobile home park shall be provided with central facilities for the washing and drying of clothes, unless otherwise provided by the board of county commissioners.
(12)
A landscape buffering not less than 20 feet in width shall be provided along public streets or highways and along all boundaries of a mobile home park. Said buffer strip may be used for drainage structures and utility easements, but shall not be used for any other purpose.
(13)
The intent of landscaping a mobile home park is to preserve the natural character of the site. Mobile home parks shall provide an equivalent of one tree per mobile home site in addition to the required landscape buffering. Trees shall be of sufficient maturity to have a minimum of a ten-foot crown height and a four-inch base or trunk. Existing trees left intact and undisturbed by development of the mobile home park shall be counted toward the one tree per site requirement.
(14)
In general, a mobile home park shall provide suitable accommodations for all necessary functions, including off-street parking or loading, and no use of a public street or a required buffer area shall be utilized for any said purpose at any time.
(15)
The owner and/or developer of a mobile home park which is fully or partially within a designated flood hazard area as identified by the federal insurance rate map (FIRM) dated May 17, 1982, shall provide the county with base flood information as may be specified, and which includes the minimum first-floor elevation above a 100-year flood level for any and all permanent residences and other structures within the park. When said park, or portion of said park, is within a designated flood hazard area, the site plan shall include a statement attesting that the elevation has been established and certified by a licensed professional engineer registered in the state, and that his calculations are based on the 100-year flood level. In the event that the South Florida Water Management District has reviewed and approved the base flood elevation data for the property, or if the base flood information has been provided by any other state or federal agency, such information shall be sufficient to satisfy this requirement.
(16)
Unless otherwise provided by the board of county commissioners, a central storage area shall be provided for the storage of major recreational equipment, such a travel trailers, camping equipment, boats and the like; any said equipment shall be permitted only in such designated area of the mobile home park. No piece of major recreation equipment parked in the storage area shall be used for human habitation. The storage area shall be adequately buffered with obscuring type fencing and plant material, so as to screen its view from all adjacent streets, and from the mobile home sites within the park. The type of planting material shall be shown on the plan.
(d)
Sanitation requirements. Each mobile home site shall be provided with at least one garbage container of not less than 20-gallon capacity, so located as to be obstructed from view from the roadways within and without the park. Park management shall be strictly responsible for internal trash and garbage collection. Central park collection points, such as dumpsters, shall be completely screened from public view from within the park. The developer and/or owner shall submit to the director of development, at the time of application, copies of signed agreements with a licensed refuse hauler stating an agreement for service, the length of time for continued service, and at what regular intervals trash and garbage will be picked up by the hauler.
(e)
Park design. Designers of mobile home parks shall utilize contemporary design practices, and shall avoid monotonous and obsolete rectilinear or herringbone design for layout of mobile home sites.
(f)
Procedures for development and operation. Upon receiving approval, or approval with conditions, from the board of county commissioners, the applicant or owner may proceed with development of a mobile home park, subject to all permit requirements of the county and other governmental units having jurisdiction. After all required improvements have been completed for a park, or an improved unit of a park, a building and engineering inspector shall conduct a final inspection and shall confirm in writing to the community development director that said improvements have been completed. The community development director shall then approve the mobile home park for occupancy and issue an appropriate occupancy permit to the owner or operator. Until a park has received an occupancy permit, no mobile home shall be placed therein.
(g)
Installation and occupancy of mobile homes. No mobile home shall be installed or occupied within a mobile home park until and unless there has been full compliance with the provisions of all applicable ordinances and regulations of the county.
(h)
Compliance with requirements of other jurisdictions. In addition to the requirements of this section, mobile home parks shall meet the requirements of all other governmental units having jurisdictional control over park development and operation, including but not limited to the division of health of the state department of health and rehabilitative services, and the state division of motor vehicles. To the fullest extent possible, the review of mobile home park proposals under this section will be coordinated with similar review of other governmental units having jurisdiction, but it shall remain the responsibility of the applicants to obtain all necessary approvals and permits from said government units.
(i)
Expansion or modification of existing parks. Whenever an expansion or modification of an existing mobile home park is proposed, plans shall be submitted and reviewed in the same manner as plans for new parks. Such plans shall comply with all of the standards, requirements, and improvements for new parks, and the existing park shall be upgraded to standards for new parks.
Cross reference— Zoning regulations for mobile homes, § 1-53-6.6.
1-53-6.10. Recreational vehicle parks.
(a)
A recreational vehicle park shall be exclusively for recreational use by persons with transportable recreational housing, with appropriate accessory uses and structures. The land on which it is developed shall be under unified control and shall be planned and developed as a whole in a single development operation or programmed series of development operations for recreational vehicles and related uses and facilities. Subsequent subdivision of lots or conveyance of sites to individual owners by any means is prohibited without the express approval of the board of county commissioners (as established in the special exception). The principal and accessory uses and structures shall be substantially related to the character of the development.
(b)
The board of county commissioners may permit convenience establishments for the sale or rental of supplies or for provision of services for the satisfaction of daily or frequent needs of campers within a recreational vehicle park. These establishments may provide groceries, ice, sundries, bait, fishing equipment, self-service laundry equipment, bottled gas, and other similar items needed by users of the park. These establishments shall be designed to serve only the needs of the campers within the park and shall not, including their parking areas, occupy more than five percent of the area of the park, and shall not be so located as to attract patronage from outside the grounds, nor have adverse effects on surrounding land uses.
(c)
Following are site requirements for a recreational vehicle park:
(1)
The minimum land area for a recreational vehicle park shall be eight acres.
(2)
The maximum density for a recreational vehicle park shall be 18 spaces per gross acre. Storage spaces shall be included in the density calculation.
(3)
Individual spaces shall have access from internal streets and shall not have direct access from adjoining public rights-of-way.
(4)
Not less than eight percent of the area of the recreational vehicle park shall be devoted to recreation. The recreation area may include space for common walkways and related landscaping in block interiors, provided that the common open space is at least 20 feet in width. At least half of the total required recreation area shall be comprised of facilities for active recreation, such as swimming pools or beaches, ballfields, shuffleboard courts, or play lots for small children. These facilities shall be so located as to be readily available from all spaces, and free from traffic hazards.
(5)
Recreational vehicle spaces shall be located within 300 feet by normal pedestrian routes of toilet, washroom, and bath facilities.
(6)
Individual recreational vehicle sites shall have a minimum area of 1,500 square feet and a minimum width of 30 feet. For "park models," the minimum area shall be 3,200 square feet and the minimum width shall be 40 feet.
1-53-6.11. Off-street parking, loading and unloading requirements.
(a)
Area and dimensions. Any off-street parking space shall have dimensions of ten feet in width and 20 feet in depth, exclusive of the area required for access drives or aisles. A parallel parking space shall have dimensions of eight feet in width and 20 feet in depth. Each parking space shall have four feet of additional depth for maneuvering purposes. These areas are exclusive of the area required for access drives or aisles.
(b)
General requirements and specifications.
(1)
Entrances and exits. Each parking space shall be directly accessible from a street, alley, or other public right-of-way. Except for one- or two-family dwellings, all off-street parking facilities shall be so arranged that no automobile shall have to back into any street. No entrance and exit driveways shall be permitted closer than 25 feet from a street intersection, and no parking area containing more than ten spaces shall have more than one accessway to any adjacent street for every 100 total linear feet of the boundary line adjacent to said street.
(2)
Traffic areas and aisle width.
a.
Adequate traffic areas for vehicles entering from or waiting to exit to adjacent streets. Each off-street parking area shall provide adequate traffic areas for vehicles entering from or waiting to exit [to] adjacent streets and adequate storage areas for any drive-in facilities located on the premises. The traffic and storage areas provided herein shall be so designed that vehicles waiting or maneuvering in these areas will not interfere with or hinder traffic into or out of the area or vehicles pulling into or out of spaces within the area.
b.
Aisle widths. All off-street parking areas providing four or more parking spaces shall be constructed with aisle widths with the following minimum dimensions, based upon the angle of the parking stall to the access aisle.
Aisles shall be 22 feet in width when not designed to serve a particular parking configuration or when designed to serve parallel parking. The minimum width for a one-way driveway aisle within the parking area shall be 12 feet, and 22 feet for a two-way driveway aisle.
(3)
Surface material and drainage. Except for one- and two-family dwellings, and uses permitted in industrial use districts, all off-street parking facilities including access aisles, driveways, and maneuvering areas shall be either paved or surfaced with a hard, dustless material. Such surfacing shall be maintained in good condition at all times. All off-street parking facilities shall be suitably sloped and drained.
(4)
Location. The following locational standards shall be used in providing required off-street parking facilities:
a.
Parking spaces: Located on the same site it serves or on land within 300 feet from the site as measured along the nearest pedestrian route.
b.
Loading and unloading spaces: Located in the building or on same site as principal structure.
(5)
Setbacks. All off-street parking areas shall be set back a minimum of ten feet from the front property line and two feet from the side and rear property lines.
(6)
Handicap parking space requirements. Handicap parking spaces shall be provided as required by the Accessibility Requirements Manual issued by the state department of community affairs.
(c)
Exceptions or modifications. In case of mixed uses, the total requirements for off-street parking shall be the sum of the requirements of the various uses computed separately and off-street parking for [a] use shall not be considered as providing the required off-street parking for any other use. Where a greater number is not elsewhere required in this regulation, each and every separate and individual store, office or other business shall be provided with at least one off-street parking space.
(d)
Requirements for off-street parking. There shall be provided, at the time of construction, enlargement or increase in capacity, minimum off-street parking spaces in accordance with the following requirements:
_____
_____
The inclusion of on-street parking spaces shall not be allowed in meeting the parking space requirements for the uses listed in this section.
(e)
Storage and/or parking of commercial vehicles.
(1)
Commercial vehicles shall not be parked or stored in a residential zoning district, except in accordance with the following:
a.
One commercial vehicle per parcel in a residential zoning district with an area of less than two acres is permitted. Parcels in a residential zoning district with an area of two or more acres may contain no more than two commercial vehicles.
b.
The parking area must be:
1.
Sufficient in size to support the commercial vehicle,
2.
Connected to a driveway, and
3.
Comprised of one of the following materials:
i.
Concrete,
ii.
Asphalt,
iii.
Crushed shell,
iv.
Rock,
v.
Other material if approved by the community development director or designee.
c.
Vehicles must be completely contained within the property lines without obstructing sight triangles. Such sight distance triangle shall consist of the area bounded by: (i) the edge of pavement of a road (or the edge of an unpaved road), (ii) the edge of pavement of an intersecting road or driveway (or the edge of an unpaved road or driveway), and (iii) an imaginary line connecting the other two lines at points 25 feet from their intersection.
d.
A commercial vehicle used for hauling explosives, gasoline or liquefied petroleum products may be parked or stored if more than 100 feet from an adjacent residential property line.
e.
As an alternative to the requirements above, commercial vehicles or trailers may be stored inside an enclosed garage which meets the setback requirements of the zoning district. No stored vehicle may be used as a dwelling unit.
f.
Commercial vehicles must be accessory to an established, legal residential use and owned by someone residing on the property.
(2)
The provisions of this section do not apply to vehicles that do not meet the definition of commercial vehicles in section 1-53-2.2 of the Land Development Code.
(3)
Travel trailers, hauling trailers or boat trailers designed to be hauled by automobiles shall be permitted if parked or stored behind the front setback line, but such equipment shall not be used for living purposes.
(f)
Loading and unloading areas.
(1)
Whenever the normal operation of any development requires that goods, merchandise, or equipment be routinely delivered to or shipped from that development, sufficient off-street loading and unloading areas must be provided in accordance with this section to accommodate the delivery or shipment operations in a safe and convenient manner.
(2)
The loading and unloading area must be of sufficient size to accommodate the numbers and types of vehicles that are likely to use this area, given the nature of the development in question. The following table indicates the number and size of spaces that, presumptively, satisfy the standard set forth in this subsection. However, the permit-issuing authority may require more or less loading and unloading area if reasonably necessary to satisfy the foregoing standard.
*Minimum dimensions of 12 feet by 45 feet and overhead clearance of 14.5 feet from street grade required.
(3)
Loading and unloading areas shall be so located and designed that the vehicles intended to use them can (i) maneuver safely and conveniently to and from public right-of-way, and (ii) complete the loading and unloading operations without obstructing or interfering with any public right-of-way or any parking space or parking lot aisle.
(4)
No motor vehicles, travel trailers, hauling trailers, boat trailers, etc., shall be parked in a residential zoning district without a primary residence on the property.
Cross reference— Motor vehicles and traffic, ch. 1-14.
1-53-6.12. Auto salvage/junkyards and abandoned property.
(a)
No junk or abandoned property shall be kept or stored except at an auto salvage yard or junkyard approved as provided in this code.
(b)
No auto salvage or junkyard shall be operated except with all necessary permits required by the state or other governmental agencies.
(c)
No outside storage of junk shall take place within 75 feet of a property line or within 200 feet of a lot line lying in a residential district. All such storage areas shall be screened from any residential or C-1 zoned property by a fence or wall not less than eight feet high, supplemented by a landscaping strip not less than 12 feet in width. Such landscaping and wall may be waived if existing vegetation lying between the storage area and the property line is sufficient to completely block the view of the storage area from the property line.
(d)
Processing of junk (including but not limited to disassembly of vehicles or other items, sorting, operation of cutting torches or compactors or other similar activities) shall not take place within 300 feet of a property line in a residential district, and may be restricted as to hours of operation.
(e)
In any area zoned residential or commercial, no grass, weeds, underbrush, or undergrowth shall be permitted to grow higher than 12 inches above existing grade level on any lot or parcel within 500 feet of any improved residential lot. This restriction shall not apply to trees, shrubs, or hedges.
(f)
In addition to the enforcement remedies available under chapter 1-51, the building, licensing and code enforcement director may, after giving notice of violation, have the lot or parcel mowed or cleared, the cost of which shall be assessed to the property owner, and shall become a lien on the property until paid.
(g)
Auto salvage/junkyards are not permissible on lots that are located at intersections along collector and arterial roadways.
Cross reference— Abandoned property, § 1-10-16 et seq.; motor vehicles and traffic, ch. 1-14; special acts relating to junkyards, § 2-6-66 et seq.
1-53-6.13. Airports.
(1)
Purpose and findings. The purpose of this section is to establish standards of heights and land uses to prevent the creation of hazards to air navigation or which would impair the utility and capacity of Airglades Airport and LaBelle Airport. This section creates specific land use limitations and establishes procedures for their orderly administration and enforcement.
It is hereby found that an obstruction to navigable airspace has the potential for endangering the lives and property of users of the Airglades Airport and the LaBelle Airport and property or occupants of land in their vicinities: That an obstruction may affect existing and future instrument approach minimums of the Airglades Airport and the LaBelle Airport; and that an obstruction may reduce the size of areas available for the landing, take off, and maneuvering of aircraft, thus tending to destroy or impair the utility of the Airglades Airport and the LaBelle Airport and the public investment therein. Accordingly, it is declared that:
a.
The Airglades Airport and the LaBelle Airport fulfill an essential community purpose;
b.
The creation, establishment or maintenance of an obstruction and the incompatible use of land in the airport vicinity are public nuisances and injure the community served by the Airglades Airport and the LaBelle Airport;
c.
It is necessary in the interest of the public health, public safety, and general welfare that the creation, establishment or maintenance of obstructions that are a hazard to air navigation be prevented;
d.
The prevention of these obstructions should be accomplished, to the extent legally possible, by the exercise of the police power without compensation;
e.
Promoting land uses compatible with the existing and future operations of the airports serves to protect the public investment in the airports and promotes a more livable community in the vicinity of the Airglades Airport and the LaBelle Airport;
f.
The establishment of noise sensitive developments in the vicinity of the Airglades Airport and the LaBelle Airport have the potential of limiting the existing and future utility of the airports and may adversely affect the region served by the airports; and
g.
The construction of certain noise sensitive developments in the vicinity of the Airglades Airport should include outdoor-to-indoor noise attenuation features so as not to be incompatible with existing and future noise levels.
(2)
Definitions:
a.
The definitions in F.S. § 333.01 are hereby adopted by reference and said definitions shall govern any word or phrase used herein that is defined in said statute.
b.
Other definitions:
Airport height/established airport elevation means the officially designated elevation of an airport as reflected on the airport layout plan.
DNL means a noise metric which describes an average day/night sound level. The DNL metric is used by the FAA to quantify aircraft noise exposure in the vicinity of an airport.
TERPS means the United States Standard for Terminal Instrument Procedures (TERPS) prescribes the criteria for the formulation, review, approval and the publishing of procedures for IFR (Instrument Flight Rules) operations to and from civil and military airports. TERPS criteria specify the minimum measure of obstacle clearance that is considered by the FAA to supply a satisfactory level of vertical protection from obstructions and are predicated on normal aircraft operations.
TERPS zone means area on ground, which falls within the extents of the Terminal Instrument Procedures surface.
Zones: Approach zone means area on ground, which falls within the extents of the C.F.R. 14, Part 77 Obstruction Identification Surface — Approach Surface.
Zones: Conical zone means area on ground, which falls within the extents of the C.F.R. 14, Part 77 Obstruction Identification Surface — Conical Surface.
Zones: Horizontal zone means area on ground, which falls within the extents of the C.F.R. 14, Part 77 Obstruction Identification Surface — Horizontal Surface.
Zones: Primary zone means area on ground, which falls within the extents of the C.F.R. 14, Part 77 Obstruction Identification Surface — Primary Surface.
Zones: Transitional zone means area on ground, which falls within the extents of the C.F.R. 14, Part 77 Obstruction Identification Surface — Transitional Surface.
(3)
The following zones and airspace height limitations shall apply to areas identified herein:
a.
In order to carry out the provisions of this section, there are hereby created and established certain zones which include all of the land lying beneath the airspace surfaces as identified in Title 14 Code of Federal Regulations (CFR) Part 77, namely, primary, horizontal, conical, approach and transitional surfaces and TERPS as they apply to a particular airport. These zones in addition to other areas defined in subsections b.1 thru 8 comprise the Airport Hazard Area. Such zones are shown on the LaBelle Airport and Airglades Airport, Airport Protection Zoning Maps (Exhibit A and Exhibit B, respectively), which are attached to the ordinance codified in this section and made a part hereof.
b.
An area located in more than one of the described zones is considered to be only in the zone with the more restrictive height limitation. The various zones are hereby established as follows:
in Title 14 Code of Federal Regulations (CFR) Part 77 — Plan View
Title 14 CFR Part 77 Surfaces — Isometric View
1.
Primary zone. The primary zone is the area under the primary surface which is described as an area longitudinally centered on a runway extending 200 feet beyond each end of that runway with the width so specified for each runway for the most precise approach existing or planned for either end of the runway. No structure or obstruction will be permitted within the primary zone that is not part of the landing and takeoff area and is of a greater height than the nearest point on the runway centerline. The width of the primary zone is as follows:
i.
LaBelle Airport.
Existing/Future Runway 14/32: 500 feet.
ii.
Airglades Airport.
(a)
Existing/Future Runway 13/31: 1,000 feet.
(b)
Future Runway 18/36: 1,000 feet.
The width of the primary zone of a runway will be that width prescribed in this section for the most precise approach existing or planned for either end of that runway based on the latest approved airport layout plan.
2.
Horizontal zone. The horizontal zone is the area under the horizontal surface which is described as the area around each civil airport with an outer boundary, the perimeter of which is constructed by swinging arcs of specified radii from the center of each end of the primary zone of each airport's runway and connecting the adjacent arcs by lines tangent to those arcs. The radius of each arc is:
i.
LaBelle Airport.
Existing/Future Runway 14/32: 10,000 feet.
ii.
Airglades Airport.
(a)
Existing/Future Runway 13/31: 10,000 feet.
(b)
Future Runway 18/36: 10,000 feet.
The radius of the arc specified for each end of a runway will have the same arithmetical value. That value will be the highest composite value determined for either end of the runway. When a 5,000-foot arc is encompassed by tangents connecting two adjacent 10,000-foot arcs, the 5,000-foot arc shall be disregarded for construction on the perimeter of the horizontal zone. No structure or obstruction will be permitted in the horizontal zone that has a height greater than 150 feet above the airport height.
3.
Conical zone. The conical zone is the area under the Conical Surface which is described as the area extending outward from the periphery of the horizontal zone for a horizontal distance of 4,000 feet. Height limitations for structures in the conical zone are 150 feet above airport height at the inner boundary with permitted height increasing one foot vertically for every 20 feet of horizontal distance measured outward from the inner boundary to a height of 350 feet above airport height at the outer boundary.
4.
Approach zone. The approach zone is the area under the Approach Surface which is described as an area longitudinally centered on the extended runway centerline extending outward from each end of the primary surface. An approach zone is designated for each runway based upon the type of approach available or planned for that runway end.
i.
The inner edge of the approach zone is the same width as the primary zone and it expands uniformly to a width of:
(a)
LaBelle Airport.
Existing/Future Runway 14/32: 3,500 feet.
(b)
Airglades Airport.
(1)
Existing/Future Runway 13/31: 4,000 feet.
(2)
Future Runway 18/36: 16,000 feet.
ii.
The approach surface extends for a horizontal distance of:
(a)
LaBelle Municipal Airport.
Existing/Future Runway 14/32: 10,000 feet.
(b)
Airglades Airport.
(1)
Existing/Future Runway 13/31: 10,000 feet.
(2)
Future Runway 18/36: 10,000 feet (for inner approach) plus an additional 40,000 feet (for outer approach).
iii.
The outer width of an approach zone to an end of a runway will be that width prescribed in this subsection for the most precise approach existing or planned for that runway end.
iv.
Permitted height limitation within the approach zones is the same as the runway end height at the inner edge and increases with horizontal distance outward from the inner edge as follows:
(a)
LaBelle Airport.
Existing/Future Runway 14/32: Permitted height increases one foot vertically for every 34 feet horizontal distance.
(b)
Airglades Airport.
(1)
Existing/Future Runway 13/31: Permitted height increases one foot vertically for every 34 feet horizontal distance.
(2)
Future Runway 18/36: Permitted height increases one foot vertically for every 50 feet horizontal distance for the inner 10,000 feet of the approach surface and every one foot vertically for every 40 feet horizontal distance for an additional 40,000 feet.
5.
Transitional zone. The transitional zone is the area under the transitional surface which is described as the area extending outward from the sides of the primary zones and approach zones connecting them to the horizontal zone. Height limits within the transitional zone are the same as the primary zone or approach zone at the boundary line where it adjoins and increases at a rate of one foot vertically for every seven feet horizontally, with the horizontal distance measured at right angles to the runway centerline and extended centerline, until the height matches the height of the horizontal zone or conical zone or for a horizontal distance of 5,000 feet from the side of the part of the precision approach zone that extends beyond the conical zone.
6.
TERPS zone. TERPS zone is the area described under the TERPS departure surface. Structures shall not intrude into the departure surface, which is a trapezoid shape that begins at the end of the Takeoff Distance Available and extends along the extended runway centerline and with a slope of 1 foot vertically for every 40 feet horizontally (40:1). The inner width of this zone is 1,000 feet and the outer width is 6,466 feet. The surface widens at an angle of 15 degrees as it extends outwards along the runway centerline away from the runway end as shown in the graphic below, depicted by the unshaded trapezoidal shape. Guidance on design for establishment of runway thresholds and departure ends is based on a detailed analysis considering the requirements of Order 8260.3. United States Standards for Terminal Instrument Procedures (TERPS). Departure surfaces, when clear, allow pilots to follow standard departure procedures.
7.
Other areas. In addition to the height limitations imposed in subparagraphs b.1 through 6 above, no structure or obstruction will be permitted within the county that would cause a minimum obstruction clearance altitude, a minimum descent altitude, a decision height or a minimum vectoring altitude to be raised.
8.
Other restrictions. In addition to the height limitations imposed in subparagraphs b.1 through 7 above, the Federal Aviation Administration (FAA) may issue a determination of hazard to air navigation for obstructions. In order to determine if the proposed construction or alteration of structures is an obstruction requiring an airspace evaluation by the FAA and if FAA needs to be notified regarding the proposed development, the FAA's Notice Criteria Tool should be used. This tool can be found at the FAA's Obstruction Evaluation/Airport Airspace Analysis (OE/AAA) website: https://oeaaa.faa.gov/oeaaa/external/portal.jsp.
If any part of the proposed construction or alteration is identified as exceeding notice criteria, a formal airspace analysis request must be filed with the FAA via the OE/AAA site. CFR Part 77.9 states that notice must be filed with the FAA if requested by the FAA when anyone proposes any of the following types of construction or alteration:
(a)
Any construction or alteration exceeding 200 feet above ground level.
(b)
Any construction or alteration that exceeds an imaginary surface extending outward and upward at any of the following slopes:
i.
One hundred to one for a horizontal distance of 20,000 feet from the nearest point of the nearest runway of each airport described in 14 CFR 77.9(d) with its longest runway more than 3,200 feet in actual length, excluding heliports.
ii.
Fifty to one for a horizontal distance of 10,000 feet from the nearest point of the nearest runway of each airport described in 14 CFR 77.9(d) with its longest runway no more than 3,200 feet in actual length, excluding heliports.
iii.
Twenty-five to one for a horizontal distance of 5,000 feet from the nearest point of the nearest landing and takeoff area of each heliport described in 14 CFR 77.9(d).
(c)
Any highway, railroad or other traverse way for mobile objects, of a height which, if adjusted upward as defined in 14 CFR 77.9(c) would exceed a standard of 14 CFR 77.9 (a) or (b).
(d)
Any construction or alteration located on an airport described in 14 CFR 77.9(d).
(4)
Land use restrictions.
a.
Use restrictions. Notwithstanding any other provision of this section, no use may be made of land or water within any zones established by this section in such a manner as to interfere with the operation of an airborne aircraft. The following special requirements shall apply to each permitted use:
1.
All lights or illumination used in conjunction with street, parking, signs or use of land and structures shall be arranged and operated in such a manner that it is not misleading or dangerous to aircraft operating from a public airport or in the vicinity thereof.
2.
No operations of any type shall produce smoke (except for agriculture burning operations permitted by the Florida Division of Forestry), glare or other visual hazards within three statute miles of any usable runway of a public airport.
3.
No operations of any type shall produce electronic interference with navigation signals or radio communication between the airport and aircraft.
4.
Land uses are prohibited or restricted due to noise considerations as detailed in subsection 1-53-6.13(5).
5.
No new landfills are allowed, and existing landfills are restricted from growth within 10,000 feet from the nearest point of any runway used by turbine engines (used or planned) or within 5,000 feet from the nearest point of any runway used by non-turbine aircraft. If a landfill is proposed outside the perimeters defined above, but still within the lateral limits of the civil airport imaginary surfaces defined in 14 CFR s 77.19 and the airport hazard area, a case by case review of such landfills will be conducted. In addition, if a landfill is located and constructed in a manner that attracts or sustains hazardous bird movements from feeding, water or roosting areas into, or across, the runways or approach and departure patterns of aircraft, then the landfill operator must incorporate bird management techniques or other practices to minimize bird hazards to airborne aircraft.
6.
New incompatible land uses, activities, or substantial modifications to existing incompatible land uses within runway protection zones (RPZs) are prohibited. These incompatible land uses include:
i.
Buildings and structures (including, but not limited to, residences, schools, churches, hospitals or other medical care facilities, commercial/industrial buildings, etc.).
ii.
Recreational land uses (including, but not limited to, golf courses, sports fields, amusements parks, other places of public assembly, etc.).
iii.
Transportation facilities (including, but not limited to, rail facilities (light or heavy, passenger or freight), public roads/highways, vehicular parking facilities).
iv.
Fuel storage facilities (above or below ground).
v.
Hazardous material storage (above or below ground).
vi.
Wastewater treatment facilities.
vii.
Above ground utility infrastructure (including, but not limited to, electrical substations and any type of solar panel installations).
Moreover, construction in a RPZ which does not exceed airspace height restrictions is not conclusive that such use, activity, or construction is compatible with airport operations.
b.
Nonconforming uses. The airport protection zoning regulations adopted herein will not require the removal, lowering, or other change or alteration of any obstruction not conforming to the regulations when these regulations were adopted or amended, or otherwise interfere with the continuance of any existing nonconforming use except as provided in subsections (6)a, b and d. Inasmuch as the county has had an airport zoning ordinance for many years, which has been amended over time, nonconforming status shall be determined based on the ordinance in effect when the obstruction was placed or altered. It is the Board's intent that the ordinance in effect on May 11, 1995, has been only amended and not repealed.
c.
Hazard Marking and Lighting. Notwithstanding the preceding provisions of this section, the owner of any structure over 200 feet above ground level within the jurisdiction of the County, except for the Big Cypress Seminole Indian Reservation, is required to install, operate, and maintain thereon, at his or her own expense, marking and lighting in accordance with FAA Advisory Circular 70-7460 and amendments thereto on such structure. Additionally, high-intensity white obstruction lights shall be installed on a high structure which exceeds 700 feet above ground level. The high-intensity white obstruction lights must be in accordance with FAA Advisory Circular 70-7460 and amendments thereto. The owner is required to install, operate, and maintain thereon, any such marking and lighting at his or her own expense.
(5)
Noise standards.
Aircraft Noise Control Zones: Aircraft Noise Control Zones are established as follows:
a.
LaBelle Airport. Educational facilities, with the exception of aviation school facilities, are prohibited on lands within 2,627 feet on either side of and at the end of the runway centerline. Refer to Exhibit C, Noise Control Zone, which is attached to the ordinance codified in this section and made a part hereof.
b.
Airglades Airport. Any lands under the noise contours (greater than or equal to 65 DNL) shall be considered a part of the Aircraft Noise Control Zone. Refer to Exhibit D, Noise Contours, which is attached to the ordinance codified in this section and made a part hereof. Within the Aircraft Noise Control Zones for Airglades Airport, the following land use restrictions and sound level reductions apply:
Land-Use Compatibility with Yearly Day-Night Average Sound Levels
(See Key and Notes for Table Below)
Key for Table:
Y (Yes) = Land use and related structures compatible without restrictions, or with the restrictions set forth in a numbered footnote.
N (No) = Land use and related structures are not compatible and should be prohibited, unless mitigative measures are taken as set forth in a numbered footnote.
NLR = Noise level reduction (outdoor to indoor) to be achieved through incorporation of noise attenuation into the design and construction of the structure.
25, 30, or 35 = Land use and related structures generally compatible: Measures to achieve NLR of 25, 30, or 35 dB must be incorporated into design and construction of structure.
Notes for Table:
(1)
For transient lodgings, measures must be incorporated to achieve outdoor to indoor NLR of at least 25 dB within the 65—70 and 70—75 yearly DNL sound levels and 30 dB for areas in excess of the 75 yearly DNL sound level. These measures include, but are not limited to, mechanical ventilation and closed windows year-round.
(2)
Measures to achieve NLR 25 dB must be incorporated into the design and construction of portions of these buildings where the public is received, office areas, noise sensitive areas or where the normal noise level is low.
(3)
Measures to achieve NLR of 30 dB must be incorporated into the design and construction of portions of these buildings where the public is received, office areas, noise sensitive areas or where the normal noise level is low.
(4)
Measures to achieve NLR 35 dB must be incorporated into the design and construction of portions of these buildings where the public is received, office areas, noise sensitive areas or where the normal level is low.
(5)
Land use compatible provided special sound reinforcement systems are installed.
(6)
Residential buildings require an NLR of 25.
(7)
Residential buildings require an NLR of 30.
(8)
Residential buildings not permitted.
(6)
Permits and requirements.
a.
A person proposing to construct, alter, or allow an airport obstruction in an airport hazard area in violation of the airport protection zoning regulations adopted herein must apply for a permit. A permit may not be issued if it would allow the establishment or creation of an airport hazard or if it would permit a nonconforming obstruction to become a greater hazard to air navigation than it was when the applicable airport protection zoning regulation was adopted which allowed the establishment or creation of the obstruction, or than it is when the application for a permit is made.
b.
If the County determines that a nonconforming obstruction has been abandoned or is more than 80 percent torn down, destroyed, deteriorated, or decayed, a permit may not be granted if it would allow the obstruction to exceed the applicable height limit or otherwise deviate from the airport protection zoning regulations. Whether or not an application is made for a permit under this subsection, the owner of the nonconforming obstruction may be required, at his or her own expense, to lower, remove, reconstruct, alter, or equip such obstruction as may be necessary to conform to the current airport protection zoning regulations. If the owner of the nonconforming obstruction neglects or refuses to comply with such requirement for ten days after notice, the county may proceed to have the obstruction so lowered, removed, reconstructed, altered, or equipped and assess the cost and expense thereof upon the owner of the obstruction or the land whereon it is or was located.
c.
In determining whether to issue or deny a permit, the county will consider the following, as applicable:
1.
The safety of persons on the ground and in the air.
2.
The safe and efficient use of navigable airspace.
3.
The nature of the terrain and height of existing structures.
4.
The effect of the construction or alteration on the state licensing standards for a public-use airport contained in chapter 330 and rules adopted thereunder.
5.
The character of existing and planned flight operations and developments at public-use airports.
6.
Federal airways, visual flight rules, flyways and corridors, and instrument approaches as designated by the FAA.
7.
The effect of the construction or alteration of the proposed structure on the minimum descent altitude or the decision height at the affected airport.
8.
The cumulative effects on navigable airspace of all existing structures and all other known proposed structures in the area.
d.
In issuing a permit under this section, the county shall require the owner of the obstruction to install, operate, and maintain thereon, at his or her own expense, marking and lighting in conformance with the specific standards established by the FAA.
e.
The county will provide the permit application to the Florida Department of Transportation in accordance with F.S. § 333.025(4).
f.
A person proposing to construct, alter, or allow an airport obstruction in an airport hazard area must submit, pursuant to subsection (3)b.8 above, documentation showing compliance with the federal requirement for notification of proposed construction or alteration of structures and a valid aeronautical study in order to obtain a building permit. Notification of proposed construction or alteration of structures must be filed at the FAA's Obstruction Evaluation/Airport Airspace Analysis (OE/AAA) website: https://oeaaa.faa.gov/oeaaa/external/portal.jsp.
Upon reviewing the proposed construction/alteration, the FAA will issue a letter of determination, which must be submitted to the County in order to apply for a building permit. If, however, the Notice Criteria Tool determines that the proposed construction or alteration does not exceed notice criteria, a print of such determination must be submitted to the county in order to obtain a building permit. The county may not approve a permit for the construction or alteration of an obstruction unless the applicant submits documentation showing both compliance with the federal requirement for notification of proposed construction or alteration and a valid aeronautical study. A permit may not be approved solely on the basis that the FAA determined that the proposed construction or alteration of an obstruction is not an airport hazard.
g.
In event of conflict between any airport zoning regulations adopted herein and any other regulations applicable to the same area, whether the conflict be with respect to the height of structures or vegetation, the use of land, or any other matter, and whether such regulations were adopted by the county or other regulatory body, the more stringent limitation or requirement shall govern and prevail.
(7)
Appeal to board of county commissioners.
a.
Any adversely affected person may, within 15 days from the date of the permitting agency's letter approving or denying the permit or making another final determination, appeal to the board of county commissioners by filing with the permitting agency an appeal letter specifying the grounds for appeal.
b.
An appeal shall stay all proceedings in the underlying action appealed from, unless the permitting agency certifies pursuant to the rules for appeal that by reason of the facts stated in the certificate a stay would, in its opinion, cause imminent peril to life or property. In such cases, proceedings may not be stayed except by order of the county issued to the parties in interest and for good cause shown.
c.
After having given public notice and due notice to the parties in interest, an appeal filed under this section shall be heard by the board of county commissioners. Any party may appear at the hearing in person, by agent, or by attorney.
d.
At or within a reasonable time after such hearing, the board of county commissioners, in conformity with the regulations set forth in this section 1-53-6.13, may affirm, reverse or modify the decision on the permit or other determination from which the appeal is taken.
(8)
Judicial review. Judicial review is available in accordance with F.S. 333.11.
(9)
Acquisition of air rights. The county may acquire air rights in accordance with F.S. § 333.12.
(10)
Enforcement and remedies. F.S. ch. 333 and these regulations may be enforced in accordance with F.S. § 333.13.
1-53-6.14. Access/private roads/private
driveways.
(a)
Private roads. Except for large lot subdivisions (section 1-54-5), the following criteria are established for construction of a private road in the county:
(1)
All private roads shall have a minimum of a 50-foot right-of-way with open drainage. The right-of-way width may be reduced to 30 feet if closed drainage, or inverted crown design is used.
(2)
No said right-of-way shall utilize any portion of the minimum lot width required within any zoning district other than an A-1 or A-2 zoning district.
(3)
All privately maintained roads abutting in [on] an approved public street or county-maintained road shall meet or exceed the type of construction of said approved public street or county-maintained road. In no case shall the approved private road be of a lesser type surface than the abutting approved public street or county-maintained road, unless a variance is granted by the board of county commissioners.
(4)
The applicant shall be required to pay the fee approved by the board of county commissioners in order to defray processing costs relating to the review, inspection, and approval of the private road by the county engineer.
(b)
Private driveways. Private driveways shall be classified as legal access on or over private property to a building or structure from an approved private road, public street, or county-maintained road. Private driveways may serve no more than three residential parcels, plus their attendant or secondary accessory structures. Furthermore, this section shall not prevent the reasonable use of existing parcels having access only by public waterway.
(1)
Private driveways shall have a minimum improved width of 20 feet.
(2)
Private driveways that have dead-ends shall provide a turnaround that will accommodate emergency vehicles.
(3)
Private driveways shall be constructed with a stabilized surface in order to accommodate emergency vehicles.
(c)
Use of residentially zoned lot for access. No lot which is residentially zoned shall be used for a private driveway, approved private road, walkway, or access purposes to any lot which is nonresidentially zoned, or used for any purpose not permitted within the applicable residential zoning district.
(d)
Large lot subdivisions. Access roadways for large lot subdivisions are not subject to the provisions of this section and shall, instead, be subject to the provisions of the large lot subdivision section of the Code.
(e)
Nothing in this section shall be construed to mean that private driveways located on an individual parcel, lot, or tract or roadways serving lands used for bona fide commercial agricultural purposes, with or without residential structures occupied in conjunction therewith, shall be paved or improved to meet the requirements above.
1-53-6.15. Second dwelling units. Except as provided by this section or by a specific provision elsewhere in this code, no individual parcel of land shall be permitted for more than one permanent residential structure or mobile home.
(a)
Additional dwelling unit on a single parcel of land.
(1)
Agricultural districts. A parcel in an agriculturally zoned district may contain two single-family residences if the following criteria are met:
a.
The density requirements of the applicable future land use category are satisfied.
b.
The lot size is twice the required lot size for the zoning district, but in no event less than ten acres including easements.
c.
The lot width is twice the required lot width for the zoning district.
d.
The residences are separated by a minimum of twice the required side yard setback for the zoning district.
e.
Each dwelling must have separate utility infrastructure, including electricity, water, sewer, and/or septic systems.
f.
There are no more than two residences constructed or installed as two freestanding single-family residences.
g.
Each residence must be located on the parcel in such a manner that the residences could be separated onto individual parcels and still meet the dimensional and density regulations for the zoning district as well as the density requirements of the applicable future land use category. Each residence must have a legal access to a public right-of-way.
(2)
Residential districts. A parcel in a residentially zoned district may contain one accessory dwelling unit in accordance with section 1-53-3.3(a)(8).
(3)
Other districts. A parcel in a commercially zoned or industrially zoned district may contain a caretaker residence if the criteria specified below are met. A parcel in a PUD, DSAP or RDSAP zoning district may contain a caretaker residence if the approved master concept plan included the caretaker residence and the criteria specified below are met.
a.
The caretaker residence is smaller than the primary use and structure on the property.
b.
The caretaker residence is approved through a site development plan.
c.
The caretaker must perform duties for the business requiring the person to reside on the premises.
(b)
Medical hardship.
(1)
A temporary second dwelling unit on one parcel may be approved by special permit in any district where additional living accommodations are necessary and a clearly demonstrated medical hardship prevails upon an immediate family member of the head of the household. Recreational vehicles may not be used as a dwelling unit for a medical hardship.
(2)
The immediate family is defined for this subsection as father, father-in-law, mother, mother-in-law, daughter, daughter-in-law, son, son-in-law, sister, sister-in-law, grandparents, step relations (relationship through the previous marriage of a spouse or through the remarriage of a parent rather than by blood) and certain other persons for whom the head of the household has been appointed legal guardian. The medical hardship must be substantiated with a written certification from a duly licensed physician that a medical hardship exists and that such hardship requires constant or recurring physical care and assistance. This hardship shall be subject to annual review and shall be discontinued when the hardship no longer exists. Should the hardship cease to exist prior to annual review it shall be the responsibility of the applicant to notify the planning and zoning department immediately.
(3)
The second dwelling unit shall be removed within 60 days after the expiration of a special permit or cessation of the hardship.
1-53-6.16 Standards for mining.
(a)
Applicability; exceptions. Any mining or earth removal activity begun or enlarged after the effective date of this code may be undertaken only in a PUD zoning district with a list of authorized uses that specifically included mining with the exception of the following:
(1)
Earth-moving in conjunction with any routine maintenance activity which restores the excavation of the final and previously excavated slope and depth configuration or with the installation of an underground utility which is backfilled.
(2)
Foundations of any building or structure, providing the excavation will be confined to the area of the structure only.
(3)
Excavations relating to the accessory use of property which by nature are of limited duration and designed to be filled upon completion, i.e., graves, septic tanks, swimming pools, fuel storage tanks, etc.
(4)
The regrading only of any property for aesthetic purposes that does not create a body of water or affect existing drainage patterns, provided the soil is not moved offsite.
(5)
Agricultural drainage and irrigation work incidental to agricultural operations.
(6)
The grading, filling, and moving of earth in conjunction with road construction.
(7)
Excavation of material to the approved depth pursuant to an environmental resource permit or exemption issued by the South Florida Water Management District for the water management system of a project where all material excavated is used on site; provided, however, site development plan or plat approval must be obtained from the county.
(8)
Removal of spoil or surplus material, provided all of the following conditions are met:
a.
The total amount of material to be removed is less than 1,500 cubic yards;
b.
The material did not originate from an excavation that was conducted on the property to produce material for sale off-site, regardless of whether or not the current landowner was the person who conducted the excavation; and
c.
A permit to remove the spoil is obtained from the county.
(b)
Duration of approval. The board of county commissioners may establish a time by which operation of a mining activity shall terminate. The board of county commissioners may thereafter extend or modify said term.
(c)
Minimum conditions of approval. Unless waived or modified by the board of county commissioners at the time of approval, the following shall be included as minimum conditions of approval:
(1)
Water management plan. Each mining operation shall incorporate a water management plan detailing methods for the conservation of existing on-site and off-site surface drainage systems and groundwater resources. Copies of an appropriate environmental resource permit and water use permit (dewatering) as required and issued by the South Florida Water Management District or Florida Department of Environmental Protection, as appropriate, shall be provided to the planning and zoning department.
(2)
Traffic and road impact analysis. If excavated material will be removed from the property, and unless, due to site-specific circumstances, the requirement is waived by the board of county commissioners, a traffic and road impact analysis will be made showing all public and private roads which will be necessary to protect such roads from physical or functional deterioration.
(3)
Blasting. If blasting will be conducted in conjunction with the mining operation, all blasting shall be done under applicable regulations. Prior to blasting, no overburden shall be removed from the area planned for mining unless otherwise approved by the planning and zoning department.
(4)
Interference with drainage systems. The mining will not interfere with the natural function of any sanitary, storm or drainage system, or natural flowage way, whether public or private, so as to create flooding or health hazards or jeopardize the natural resources and environment of the county.
(5)
Noise. Noise generated by the mining operation will not cause a violation of any applicable ordinance. Rock crushing operations or material stockpiles that will be adjacent to any existing residential area shall require specific approval from the board of county commissioners.
(6)
Protection of water quality. The mining operation will not adversely affect groundwater levels, water quality or surface water flow ways. The conditions may require the applicant to monitor the quality of the water in the excavation and adjacent groundwater and surface water. Under no circumstances shall mining be conducted in such a manner as to violate applicable water quality standards.
(7)
Safety hazards. The mining operation will be constructed so as not to cause an apparent safety hazard to persons or property.
(8)
Setbacks. Excavations shall be located so that the top-of-bank of the excavation shall adhere to the following minimum setback requirements:
a.
Seventy-five feet from the right-of-way line or easement line of any existing or proposed private or public street, road, highway or access easement.
b.
Fifty feet from side, rear or abutting property lines, except where the excavation abuts a zoning district which allows residential uses, the setback shall be 100 feet from the residentially zoned property.
(9)
Side slopes. The finished side slopes of the excavated area, expressed as the ratio of horizontal distance in feet to one foot of vertical drop, shall be as follows:
a.
A 4.0:1 slope shall be graded from the top-of-bank to a break-point at least six feet below the control elevation of the excavated area. Below this break-point, slopes shall be no steeper than 2.0:1.
b.
All governing side slopes shall be considered from the top-of-bank of the resulting excavation, whether said top-of-bank is at the surface of adjacent fill material or at existing ground level.
c.
If rock, homogenous to the bottom of the excavation, is encountered at any elevation above the break-point, then the remaining slope below the break-point shall be no steeper than 0.5:1. If said homogenous rock is encountered below the break-point, then the slope below the break-point shall be no steeper than 2.0:1 to the rock elevation, and no steeper than 0.5:1 from the rock elevation to the bottom of the excavation. However, in no case shall the 0.5:1 slope originate less than six feet below the control elevation of the excavated area.
(10)
Depths. Minimum and maximum depth of excavation shall be established as part of the approval.
(11)
Fencing. Except when alternative fencing is approved by the board of county commissioners, the mining operation shall be enclosed with a minimum of a four-foot-high fence with "no trespassing" signs placed no more than 100 feet apart. Any fencing may be removed upon final completion of reclamation and confirmation thereof by all governmental authorities with jurisdiction.
(12)
Hours of operation. Except when alternative hours are approved by the board of county commissioners, hours for use of equipment, blasting and excavation operations, including any ancillary activities that generate noise, shall be limited to Monday through Friday between the hours of 7:00 a.m. and 6:00 p.m., and Saturdays between the hours of 7:00 a.m. and 12:00 p.m. Except when approved by the board of county commissioners, no use of equipment, blasting, or other operations shall occur on Sundays or holidays observed by the Hendry County Board of County Commissioners. Dewatering pump operations shall be restricted as set forth in subsection (13).
(13)
Dewatering pumps. Dewatering pumps that are located within one-half-mile of a residence shall have adequate mufflers and be surrounded by earthen berms. Noise from dewatering pumps shall be subject to the county's noise control ordinance (chapter 1-14.5).
(14)
Site development plan, site improvement plan, or construction plans. Prior to commencement of any activities on site, the applicant shall obtain approval of a site development plan, site improvement plan, or construction plans in accordance with sections 1-58-56, 1-54-14, or 1-58-59, respectively, et seq. The applicant may propose phasing the mining activities. The plan shall contain the following information at a minimum:
a.
Watercourse and water bodies;
b.
Wetlands;
c.
Indigenous vegetation areas;
d.
Boundaries;
e.
Public and private roads, and vehicle access routes to the nearest county or state maintained road;
f.
Utility lines and easements;
g.
Public and private wells, permitted by the applicable governmental agency, within a one-half-mile radius around the mining boundary;
h.
Septic tanks, drain fields, and chemical and fuel storage tanks within a one-half-mile radius around the mining boundary;
i.
Railroads; and
j.
Structures/buildings.
(15)
Restoration. Upon completion of the mining operation, the subject property shall be restored as required by the 1986 State of Florida Resource Extraction Reclamation Act (F.S. ch. 378, pt. IV). Reclamation shall mean the reasonable rehabilitation of the total disturbed area where the mining has occurred, and shall meet the reclamation performance standards established by the state, and contained herein.
a.
Reclamation plan. Plans and other appropriate documents accurately depicting the plan of reclamation, consistent with the standards detailed herein are required. The reclamation plan shall be a part of the site development plan, site improvement plan, or construction plans to be approved by the county. The reclamation plan must include:
1.
A schedule for the commencement and phasing of reclamation, and planting plans for the littoral zone created wetland areas and any indigenous replanting including the species, quantities, and size upon planting. The reclamation must begin no later than 60 calendar days after cessation of mining or when activities in a mining cell or area are completed. If mining ceases in a cell or area for a period of 120 consecutive days, mining of that cell shall be deemed completed and reclamation shall be commenced within 180 calendar days after the date mining was last performed. Reclamation must be completed within one year from the date the reclamation begins with respect to each mining cell or area, unless otherwise authorized by the planning director.
2.
Description of the manner in which restructuring, reshaping, and stabilization of lake banks will be accomplished. The plan must also show proposed elevations and final grades for the site.
3.
Show all areas to be reclaimed, including the specific locations and descriptions of the following areas:
(i)
Mitigation and preservation areas established for wildlife species;
(ii)
Indigenous area to remain as indigenous replanting areas;
(iii)
Type and location of vegetation to be preserved;
(iv)
The natural and man-made features that will exist after reclamation is completed; and
(v)
Littoral zone created wetland areas.
4.
Depict at least two typical cross sections, with elevations, showing areas to be filled, back-filled, reconstructed, or reshaped. Water elevations shall also be shown.
5.
The applicant shall provide an estimate for the cost of implementation of the plantings called for by the reclamation plan, prepared and signed by a registered landscape architect, which shall include cost estimates for the implementation of the reclamation plan.
6.
All reclamation plans submitted shall be drawn to a minimum scale of 1" = 200' based on the size of the project and sheet sizes shall be 22" × 34".
b.
Reclamation standards. All excavated lakes must be designed to ensure appropriate native wetland areas will be created as a littoral shelf to provide long term water quality benefits, a source of natural organics for the lake, and wildlife habitat. Mining operations will be subject to the following reclamation standards to ensure long term plans to sustain or improve the baseline water quality as well as sustain fish and wildlife. These conditions are not intended to conflict with the wetland permitting requirements of the U.S. Army Corps of Engineers, Florida Department of Environmental Protection, or the South Florida Water Management District.
1.
Areas disturbed by mining, including the top of lake banks, must be stabilized with native plants, sod, or grass seeding at completion of mining or completion of a separate mining cell or area in accordance with the reclamation plans.
2.
The perimeter of any lakes shall be non-linear with corners no less than 25 feet in radius.
3.
Reclamation must be completed along the perimeter of the mining area and within the excavated lake. A littoral zone shall extend around 75 percent of the linear shoreline of the lake.
4.
In order to maximize the ecological benefits of the lake, the littoral zone shall be developed to meet the following requirements:
(i)
The littoral zone shall have a non-linear shape;
(ii)
The created littoral zone must be designed with a slope no steeper than 8:1, that extends 1.0 foot above control elevation and that reaches a depth of not less than 2.0 feet below control elevation;
(iii)
The littoral zone shall be created with foraging pockets with varying depths for low water levels; and
(iv)
Plantings shall be provided for 50 percent vegetative cover within one year from the time of planting; and include a diversity of indigenous species, including wetland trees, wetland shrubs, and herbaceous species. No more than 25 percent of one plant species may be utilized above the control elevation, nor more than 50 percent of one plant species below the control elevation. At least six native species must be planted as part of the created littoral zone.
5.
The created littoral zone must be maintained free of exotic and nuisance plant species. Methods and a plan to control exotic and nuisance species shall be provided.
6.
All spoil piles and stockpiles of material must be removed from the site or incorporated into the reclamation plan when mining is completed.
7.
After mining is complete and upon reclamation of the site, cross sections shall be done every 300 feet along the lake bank to ensure slopes are correct and shall extend from the top of the lake bank to the bottom of the lake.
(d)
Inspection. When any mining activities are occurring or reasonably suspected of occurring, county personnel shall have the right to enter the property permitted for excavation and may from time to time carry out inspections of the excavation site including the collection of water samples to determine compliance with the provisions of this code and any conditions attached to the approval. Upon reasonable notice from county personnel that an inspection is to be conducted which requires the assistance and/or presence of the applicant, the applicant shall be available to assist and/or accompany county personnel in the inspection of the excavation site.
(e)
Performance guarantee. Prior to site development plan approval, the permittee shall provide a performance guarantee to ensure compliance with the provisions of this section in the form of an escrow agreement, letter of credit or performance bond. The performance guarantee shall be on forms approved by the county attorney. Governmental entities shall be exempt from providing a performance guarantee. The three forms of performance guarantees are:
(1)
A cash deposit or certificate of deposit for the benefit of the board of county commissioners documented by way of an escrow agreement with an escrow agent located in Florida;
(2)
An irrevocable letter of credit for the benefit of the board of county commissioners issued by a Florida bank or credit union. Said letter of credit shall, at a minimum, be irrevocable for a term of not less than one year and will be automatically extended without amendment for successive one year periods until completion of reclamation activities unless, not less than 60 days prior to the then-relevant expiration date, the county receives notice by registered mail that the letter of credit shall not be extended for the additional time period. In the event that the letter of credit is not extended, the permittee shall secure a replacement performance guarantee not less than 30 days prior to the then-relevant expiration date, failing which the county shall be entitled to make a claim on the full amount of the letter of credit. No mining activities may occur unless a valid performance guarantee is in place; or
(3)
A performance bond for the benefit of the board of county commissioners issued by a Florida registered surety company having a Best's rating of A+.
The performance guarantee posted for road impacts and final grading shall be in an amount of no less than $10,000.00 and for mining areas in excess of 50,000 cubic yards shall be computed at the rate of $0.20 per cubic yard to be excavated to ensure compliance with the provisions of this section and the PUD ordinance or special exception resolution (whichever the case may be). The littoral plantings and any other vegetative plantings required by the approved reclamation plan shall be assured by a performance guarantee in an amount at least 120 percent of the estimated cost of completion of the plantings and no less than $10,000.00.
Where mining activities will be conducted in phases as approved in the site development plan, the performance guarantee shall be provided for the largest phase and the mining activities may occur only on one phase at a time. The performance guarantee shall be executed by the permittee and shall remain in effect until the reclamation is completed in accordance with this section. All performance guarantees shall be kept in continuous effect and shall not be allowed to terminate without the written consent of the planning and zoning department. Should the county find it necessary to utilize the performance guarantee to undertake any corrective work under the terms of this section, or to correct any off-site impacts of the mining operation, the permittee shall be financially responsible for all legal fees and associated costs incurred by the county in making a claim on the performance guarantee. In the event permittee shall commence reclamation and shall execute a construction contract for the required reclamation of the mining project, the performance guarantee required by this section may be released if the county is the beneficiary of an adequate performance bond issued for the construction contract. The county may release an appropriate portion of the performance guarantee required by this section to a permittee who has completed reclamation of a portion of the mining project.
(f)
Additional conditions of approval, unless waived or modified by the board of county commissioners at the time of approval.
(1)
The permittee shall submit to the county engineer on a quarterly basis truck tickets showing the number of trucks exiting the site each day to transport material off-site. Also, the county reserves the right to monitor the same. If one or more of the following conditions apply, corrective measures as approved by the county engineer must be taken within a reasonable amount of time: (a) traffic counts trip the level of service threshold; (b) warrant exists for a turn lane; (c) warrant exists for a deceleration lane; or (d) more than two accidents within three years take place as a result of truck maneuverability and based upon the recommendation of the county engineer. If corrective measures cannot be taken within a reasonable amount of time as approved by the county engineer the applicant shall close the mining operation. If the applicant and the county engineer cannot agree on the necessary corrective measures or a reasonable time frame for the corrective measures, the matter will be put on the board of county commissioners' agenda for their next available meeting.
(2)
There shall be a staging area within the permittee's property (but which may be outside of the fenced-in area) to accommodate all waiting trucks. No trucks are allowed to stage offsite within a road right-of-way or road easement. The site may be open for trucks to stage one-half-hour before hauling from the site is allowed each day.
(3)
The permittee must use any and all dust controls necessary to prevent the operation from becoming a nuisance to adjoining properties or public roads. The permittee shall remove any dirt or debris from the excavation operation that accumulates on or in the road right-of-way or road easement.
(4)
This approval does not in any way create any rights on the part of the permittee to obtain a permit from a state or federal agency and does not create any liability on the part of the county for issuance of the permit if the permittee fails to obtain requisite approvals or fulfill the obligations imposed by a state or federal agency or undertakes actions that result in a violation of state or federal law. All other applicable state or federal permits must be obtained before commencement of the development.
(5)
The permittee will install silt fencing and other such soil erosion control measures on the perimeter of the property or construction area as necessary to minimize discharge of soil offsite or to any indigenous vegetation required to be preserved under the county's ordinance.
(6)
From the place where any point of ingress and egress connects with a state or county road to at least 150 feet inside the permittee's property, a paved driveway shall be constructed.
(7)
A truck/tire wash shall be installed at the interior terminus of the paved connection to the state or county road system. A detail of the truck/tire wash system shall be included in the site development plan.
(8)
If during the course of site clearing, excavation or other construction activity, a historic or archaeological artifact is discovered, all activity within the minimum area necessary (as delineated by state rules and criteria) to protect the artifact, etc. shall be immediately stopped.
(9)
Such additional conditions as are deemed necessary on a case-by-case basis to adequately protect the public health, safety and welfare.
1-53-6.17. Airglades Planned Industrial District (APID).
(a)
Purpose of district. The Airglades Planned Industrial District (APID) is intended to provide lands for the purpose of business and industry which support the economic base of the county and contribute to its economic growth and self-sufficiency. The nature of uses shall include research, development, and manufacture of products not likely to be objectionable to neighboring properties. The development standards of this district are intended to result in an attractive appearance through various site design standards. Where specific standards are not contained herein, the standards of the Hendry County Land Development Code shall apply.
Airglades Industrial Park (the "Park") is zoned APID and is located in Sections 17 and 20, Township 43 South, Range 33 East, Hendry County, Florida more particularly described as follows:
A parcel of land in Sections 17 and 20, Township 43 South, Range 33 East, Hendry County, Florida more particularly described as follows:
From the point of beginning being the northeast corner of said Section 17 proceed S89°32'55"W along the north line of said Section 17 a distance of 5,293.00 feet to the northwest corner of said Section 17;
Thence S00°08'25"E along the west line of said Section 17 a distance of 2,627.03 feet;
Thence N90°00'00"E a distance of 1,121.55 feet;
Thence S45°16'40"E a distance of 3,765.76 feet;
Thence N44°43'20"E a distance of 1,502.11 feet;
Thence N89°48'41"E a distance of 446.18 feet to the east line of said Section 17;
Thence N00°11'19"W along the east line of said Section 17 a distance of 4,249.84 feet to the said point of beginning.
Less and except: State Road 80 (US27) and Flaghole Road rights of way and also that part of said Section 17 lying west of said Flaghole Road right-of-way.
Bearing reference and coordinate values: Bearing of S89°32'55"W on the north line of Section 17, Township 43 South, Range 33 East. Hendry County, Florida. Florida State Plane Coordinate System, East Zone, North American Datum of 1983 with the 2011 adjustment. Grid bearings in degrees, minutes, and seconds and grid distances in U.S. survey feet.
At the date of adoption of the ordinance from which this section derives, the park contained land that is currently in active agricultural use. These uses are consistent with the APID and may continue.
(b)
Uses permitted. The site plan depicted in Figure 1 shows the individual development zones A through D, in Sections 17 and 20, Township 43 South, Range 33 East. General allowable uses include Commercial uses in zone A, Industrial uses in zone B, Airside Industrial in zone C, and Commercial and Industrial uses in zone /D.
Permissible uses on each tract are listed below. Accessory uses, buildings and structures that are customarily incidental and subordinate to the principal use of the structure or premises are permitted in all zones:
(1)
Zone A - Commercial.
a.
Repair and shop uses:
1.
Awning and canvas;
2.
Carpenter and cabinet;
3.
Contractor shop;
4.
Locksmith;
5.
Sharpening and grinding;
6.
Electronic equipment repair;
7.
Taxidermist;
8.
Home appliance repair;
9.
Upholstering shop;
10.
Lawn mower and motorcycle repair; and
11.
Furniture repair.
b.
Restaurants limited to 3,000 square feet of gross floor area.
c.
Professional offices, excluding medical.
d.
Financial institutions.
e.
Commercial with trade schools.
f.
Indoor recreation center, gymnasiums, and health clubs.
g.
Truck stops with or without wash area, hotel or motel, and/or gas stations.
h.
Removal off site of excess spoil material from the excavation of drainage facilities on site. Such material shall, however, be the property of Hendry County.
(2)
Zone B - Industrial.
a.
Manufacture of products including:
1.
Computer components;
2.
Robotics;
3.
Food processing and packaging;
4.
Apparel related products;
5.
Manufacture of finish wood products;
6.
Furniture, fixtures;
7.
Assembled paper products;
8.
Formulation and packaging of drugs, cosmetics, soap;
9.
Fabricated metal products;
10.
Light manufacturing or machinery;
11.
Electrical equipment and components;
12.
Optics;
13.
Aerospace composites;
14.
Integrated circuits;
15.
Ceramics;
16.
Consumer electronics;
17.
Manufacturing technology;
18.
Image recognition; and
19.
Medical devices.
b.
Warehouse and storage buildings.
c.
Meat, poultry, and/or fish slaughtering, processing or canning.
d.
Manufacture of asphalt, brick, tile, cement, lime, plaster, concrete, and/or carbon;
e.
Sales, rental, and display of the following:
1.
Construction equipment;
2.
Machinery;
3.
Monuments;
4.
Restaurant, hotel and store supplies, fixtures and equipment;
5.
Swimming pool supplies;
6.
Electronic supplies;
7.
Medical and dental equipment and supplies;
8.
Photographic equipment and supplies;
9.
Tires and batteries;
10.
Sign painting; and
11.
Glass and mirrors.
f.
The following services and trade establishments provided that they do not offer retail services on the same premises:
1.
Bookbinding;
2.
Bakery;
3.
Blending of liquor;
4.
Cheese making;
5.
Carpet and rug cleaning;
6.
Diaper service;
7.
Drapery and blind fabrication and service;
8.
Egg storage, handling, or processing;
9.
Food catering;
10.
Glass and mirror shop;
11.
Hydroponic garden;
12.
Laundry;
13.
Linen supply;
14.
Machinery repair;
15.
Magazine whole sale agency;
16.
Motion picture studio;
17.
Pattern making;
18.
Printing, publishing, lithography, and engraving;
19.
Tool, die, and gauge shop including the use of automatic screw machines;
20.
Communication-information/data processing;
21.
Telecommunication;
22.
Exterminating;
23.
Janitorial;
24.
Boat building and repair;
25.
Plumbing or electrical shop;
26.
Manufacture of powder blends;
27.
Telephone exchange; and
28.
Tank and truck washing.
g.
The following repair and shop uses:
1.
Awning and canvas;
2.
Carpenter and cabinet;
3.
Contractor shop;
4.
Locksmith;
5.
Sharpening and grinding;
6.
Electronic equipment repair;
7.
Taxidermist;
8.
Home appliance repair;
9.
Upholstering shop;
10.
Lawn mower and motorcycle repair; and
11.
Furniture repair.
h.
Blacksmith and welding.
i.
The rental and/or storage of motor vehicles, recreational vehicles, boats, trucks, and trailers, subject to the following conditions:
1.
New or used motor vehicles, recreational vehicles, boats, trucks, and trailers, offered for rent shall occupy not more than one-half of the lot on which the business is located.
2.
Any business which permits the rental and/or storage of motor vehicles, trucks and trailers, recreational vehicles, and boats bearing signs, painted or otherwise affixed to the vehicles which signs advertise a franchiser or company name shall store such vehicle within a completely enclosed building or shall provide a vehicle storage area as set forth below. All motor vehicles, recreational vehicles, boats, trucks, or trailers bearing such signs must be stored within this vehicle storage area or in the enclosed building.
3.
All maintenance, washing, and repair must be within the enclosed area described above.
j.
Crating, packing, distribution, shipping, and soft drink bottling, including warehouse and storage.
k.
Auto towing.
l.
Commercial transportation business including taxi dispatch, bus and tram depots, and motor freight terminals.
m.
Removal off site of excess spoil material from the excavation of drainage facilities on site. Such material shall, however, be the property of Hendry County.
(3)
Zone C - Airside Industrial.
Uses will be limited to those allowable in accordance with FAA guidelines.
(4)
Zone D - Commercial and Industrial Uses.
All uses allowed in zones A and B are allowable in Zone D.
(c)
Uses prohibited. Except as specifically permitted in this division, the following uses are expressly prohibited as either principal or accessory uses:
(1)
Foundry.
(2)
Drop forging.
(3)
Paint or varnish manufacture.
(4)
Oil compounding or barreling.
(5)
Die casting.
(6)
No open-air storage of bulk materials is allowed. This prohibition does not apply to storage of materials in a warehouse or to any use operated by Hendry County. Stockpiles cannot be visible.
(7)
Any business which is obnoxious because of dust, dirt, smoke, fumes, odors, noises, vibrations or radioactive wastes.
(8)
Adult entertainment.
(9)
Production of hazardous waste including, but not limited to, acids, poisons, toxic chemicals or batteries.
(10)
Any activity that would conflict with Section 1-53-6.13, Airports, of the Hendry County Land Development Code (LDC) or its successor ordinance.
(d)
Supplemental development standards.
(1)
Height. Building and structure heights shall be regulated by Section 1-53-6.13, Airports, of the LDC or its successor ordinance.
(2)
Plot size. Every plot shall be not less than 100 feet in width and not less than 20,000 square feet in area. The plot area is determined to be the lease area (refer to Figure 2).
(3)
Setbacks.
a.
No building or roofed structure shall be located less than 25 feet from any plot line described boundaries of the property.
b.
No more than one-half of the depth of any required setback area measured from a street line or plot line may be used for parking and such parking shall be located on the half of the required setback furthest from the street or front or plot line. The balance of the setback area shall be landscaped and used for no other purpose.
c.
All required setback areas, except where used for permitted parking, shall be landscaped. A required landscaped area shall not be crossed by more than the minimum of walkways and driveways necessary for access to the building.
d.
Signs, light standards, and fences shall be permitted in required setback areas as hereinafter specified.
(4)
Fences and walls. All fences and walls shall be constructed of concrete, masonry, or metal. Metal fences shall be of the open-weave, chain-link type. Fences and walls shall not exceed ten feet in height. Fences and walls shall not be located within any setback area on a street with the exception that a double frontage plot shall be permitted to contain fences and walls in the rear or secondary required setback area when provided with a 25 feet planting area adjacent to the street landscaped in conformance with this section. The county engineer may approve fences to be located within the setback area if the required landscaping and streetscaping are still complied with and the visibility triangle is not negatively impacted.
(5)
Lighting. All exterior lighting shall be so installed as not to cause any nuisance to adjoining residential areas. Exterior lighting shall comply with FAA regulations and section 1-53-6.13 of the LDC or its successor ordinance.
(6)
Landscaping.
a.
Minimum landscaped open space. Each plot shall provide not less than ten percent of its area in landscaped open space. The landscaped open space area shall include, at a minimum, one tree per 3,500 square feet. The remainder of the landscaped open space areas must be landscaped with grass, ground cover, shrubs or other approved landscaping materials. The parking area adjacent to the primary building entry shall be landscaped in accordance with section 1-58-25(b)(2). The required buffer areas and landscaping may be credited towards the landscaped open space area calculations. All landscaping areas, including sodded areas, shall receive regular maintenance including trimming, minimum fertilization to protect wetlands, mowing and replacement of diseased plant materials, as required. If irrigation systems are installed they shall be underground, automatic, kept in good repair, and shall not discolor any wall, sign surface or other structure. Perimeter landscaping shall be maintained so as to avoid blight and preserve the beauty, quality, and value of the park, and to maintain a uniform and sightly appearance. The area between the building and the street shall be used for open landscaping and green areas to the greatest extent possible, taking into account necessary parking. All landscaping shall be completed prior to issuance of a certificate of occupancy with respect to the building constructed or erected on any lot and shall be subject to the approval of the planning and zoning department.
b.
Streetscaping. Streetscaping shall be provided adjacent to the road right-of-way (ROW) of the access and internal roads. The streetscaping shall be installed prior to a certificate of occupancy and shall be maintained by each lot tenant. Streetscaping shall be in accordance with Figure 3. Variations of sequencing may be reviewed on a case by case basis. The oak trees shall be a minimum of 12 feet in height at planting, the magnolia trees shall be a minimum of 25 gallons at planting, and the shrubs and grasses shall be a minimum of three gallons or 24 inches in height at planting.
c.
Alternate landscape betterment plan. Applications pursuant to this section and LDC section 1-58-41 may propose an alternate landscape betterment plan if it can be demonstrated that the plan still meets the landscaped open space and the streetscape requirements. Considerations for a betterment plan may include, but are not limited to, water conservation designs, larger trees at planting, and greater open space areas. Required side and rear yard buffering between individual lots in accordance with LDC section 1-58-41 may be amended through an alternate landscape betterment plan if the uses are similar or it is shown to create an operational hardship. For example, such amendments may include requiring buffering on the first lot to obtain a SDP and not on the adjacent lot. This amendment would be an example of minimizing the need for irrigation and therefore creating water conservation measures.
(7)
Storage. All outside storage of materials, supplies, products, equipment or machinery, except automotive vehicles, shall be screened from direct view at ground level from any street.
(8)
Construction standards. All developed property shall be landscaped, improved and maintained in full conformity with all applicable requirements of the land development code.
a.
All improved land shall be well-graded and free from underbrush and objectionable plant growth. The 50 feet closest to any public right-of-way shall be mowed periodically as necessary to control natural grass growth. The balance of the site shall be kept free of debris and shall not be used for storage or disposal of any objects or materials.
b.
Lessees shall comply with the current county's water quality monitoring plan for the Airglades Stormwater Discharge or its successor and each site shall be designed in conformance with the Airglades Stormwater Master Plan. This will require a minimum of ½ inch of dry pretreatment to be detained on site prior to discharge into the master surface water management system.
c.
All planted and landscaped areas shall be maintained in a neat, orderly, healthy, growing and properly trimmed condition.
d.
All buildings and structures shall be kept properly painted and protected from deterioration and shall not be permitted to become dilapidated.
e.
All driveways, walkways, parking areas, storage, and loading areas of developed property shall be well-graded and surfaced with asphalt concrete or other equivalent hard, dustless materials.
f.
No building or structure, or part thereof, shall be erected, in whole or in part, that is obnoxious, objectionable, a nuisance or a hazard to adjoining properties, as they relate to sound, vibrations, odors, glare, radioactive materials, smoke and particulate matters.
g.
Buildings facades facing roadways shall be designed to appear to be the fronts of buildings. This provision shall apply to corner and double frontage lots.
h.
Impervious area shall generally be limited to 40 percent of each individual lot, and the lessee shall obtain a modification to the South Florida Water Management District ERP for the Airglades Industrial Park (see Figure 4). An increase in the impervious area may be approved by the county engineer if it can be shown that the increase will not negatively impact the overall stormwater management system for the Airglades Airport and that the open space and landscaping requirements can be met.
(9)
Vibration. Every use shall be so operated that ground vibration inherently and recurrently generated is not perceptible, without instruments, at any point on the property line of the property on which the use is located.
(10)
Smoke. Any emissions of smoke must be in conformance with section 1-53-6.13 of the LDC or its successor ordinance.
(11)
Fumes, gases, vapors, dusts, and acids. No person shall cause or allow the escape into the open air of such quantities of fumes, gases, vapors, dusts, and acids, in such place or manner as to cause injury, detriment, or nuisance to the public, or to endanger the peace, comfort, health or safety of the public, or in such manner as to cause or have a tendency to cause injury or damage to business or property. Tests may be required by the building, licensing and code enforcement department for the purpose of the abatement of fumes, gases, vapors, dusts, odors, or any other nuisance, which may be present and which may come under the jurisdiction of the planning and zoning department. Such tests shall be made by the lessee or his authorized agent, and they shall be made in accordance with such procedures as may be accepted by a reputable and recognized authority such as: American Society of Testing Materials, U.S. Bureau of Mines, U.S. Public Health Service, the National Board of Fire Underwriters or others. The choice of such authority shall rest entirely with the building, licensing and code enforcement department.
Nothing in these rules and regulations regarding tests conducted by and paid for by the lessee or the lessee's authorized agents shall be deemed to abridge the rights of the building, licensing and code enforcement department to conduct tests of these installations and/or activity on behalf of the county.
(12)
Industrial sewage and waste. Every use shall be so operated as to prevent the discharge into any stream, lake, or the ground of any waste which shall be dangerous or discomforting to persons or animals or which will damage plants or crops, surface or subsurface water, land improvement or infrastructure.
(13)
Buildings. Buildings constructed in the commercial area shall be of modern design and constructed of modern materials. Exterior walls of each building shall be finished with color-coated steel panels, built-up concrete, or equivalent material such as concrete block with plaster or stucco finish, brick or other siding acceptable to the county. All exterior walls fronting on any street shall be aesthetically pleasing, and if concrete block, shall be given a veneer of either stucco, plaster, wood or similar covering. The gross area of any buildings located upon any lot shall be consistent with this APID within each phase. Structures located within 1,000 feet of the right-of-way of U.S. 27 must meet the requirements of the Gateway Overlay Corridor, section 1-58-16 of the county's land development code or its successor.
(14)
Loading storage and outside storage. Each parcel of the land devoted to site development shall provide sufficient on-site loading facilities to accommodate site activities, and all loading movement, including turn-arounds, shall be made off of the public right-of-way. Loading docks shall be located and screened so as to minimize their visibility from any street or other right-of-way. Screening of service areas, loading docks and so forth may consist of any approved combination of earth mounding, landscaping, walls and/or fencing the design for which must be approved by the county. No materials, supplies or equipment shall be permitted to remain outside of any building. However, tanks, motors, and special industrial equipment will be permitted to remain outside of any building as long as they are screened from the street and surrounding property. Rubbish and garbage facilities shall be screened so as not to be visible from any street or right-of-way. The maneuvering of trucks and trailers shall be confined to the extent practicable, to the lot included in the APID. Bulk storage of liquids, including gasoline, fuel, oil, other petroleum products and other liquids, shall be stored outside buildings or in underground containers located at a depth and area approved by the planning and zoning department. All storage shall be in compliance with applicable governmental laws and regulations.
(15)
Access points. It is intended that driveways on boundary streets be minimized. Spacing on boundary streets shall be at least 75 feet apart (center spacing), at least 100 feet from any street intersection, and a maximum of 24 feet in width, unless approved by the county in writing, in advance. Joint driveways may be developed to serve abutting parcels and are favorably encouraged.
(16)
Parking. Parking on the streets of the industrial park is strictly prohibited. All parking within the APID shall be in designated parking areas.
(17)
Signs and graphics. To minimize any detractive effects upon building appearance and landscaping which may result from the erection of signs within the subdivision, signs shall be located flush on building exterior walls not perpendicular to the wall surface; lettering may not be larger than four feet high; flashing signs of any kind are not permitted; and all signs shall conform to the applicable sign regulations of Hendry County as the same now exists or as the same or may hereafter be amended.
(18)
Maintenance. Building, landscaping, and other improvements shall be continuously maintained yielding a well kept appearance especially along the perimeters of any lot or other property. The county shall from time to time inspect site and landscape maintenance, and if not satisfied with the level of maintenance on a site, shall notify the owner in writing. If within 15 days from notification, maintenance has not been brought to acceptable standards in conformance with the following maintenance standards, the county may order the work done at the tenant's, grantee's, or lessee's expense and may treat the charges as an assessment.
(19)
Waste. All trash and garbage, except recyclable materials, shall be placed in designated containers, or within the tenant's, grantees, or lessee's contained service area, which shall be screened and properly landscaped. The size and number of containers shall reflect the capacity of the local agencies for trash removal. Yards and landscape areas will be kept free of trash, leaves, and dead landscaping materials. All tenants must use the county's approved franchise trash hauler.
(20)
Parking lots and sidewalks. All parking lots, sidewalks, and other hard surface areas shall be swept and cleaned regularly and cracks and damaged areas of sidewalks shall be repaired or replaced as required. Damaged or eroding areas of the asphalt parking surface shall be replaced as required and an overall resurfacing of the parking area will be done as necessary. Broken bumper stops and/or curbing shall be replaced as required; and drainage inlets, storm sewers and any surface drainage facilities shall be maintained in good repair and clear of debris so as to ensure their proper function. Each tenant, grantee, or lessee shall provide adequate off-street motor vehicle and trailer storage for the tenant's, grantee's, or lessee's needs, but, in any event, no less than that required by governmental regulations and requirements. All driveways and parking areas shall be constructed of asphalt or concrete product and bear the striping and signage required by law.
(21)
Airspace considerations. No development shall occur within a runway or taxiway safety area, object free area or other restrictive area. Development in Runway Protection Zones (RPZ) shall be consistent with the provisions of the RPZ as specified by the FAA.
(22)
Unless specifically noted herein, all standards contained in section 1-53-6.13 of the LDC, or its successor ordinance, shall govern development in this zoning district.
FIGURE 1
FIGURE 2
Figure 3
Figure 4
1-53-6.18 Pain management clinics.
(a)
Definitions. For the purposes of this section, the following terms shall have the following meanings:
Applicable law shall mean this Code, applicable Florida law, including, without limitation, rules and regulations promulgated by the Florida Department of Health, the Florida Board of Medicine, the Florida Board of Osteopathic Medicine, the Florida Board of Pharmacy, and applicable federal law.
Board shall mean the Hendry County Board of County Commissioners.
Controlled substance shall mean a controlled substance listed in schedules II, III, or IV in F.S. § 893.03.
Chronic nonmalignant pain shall mean pain unrelated to cancer or rheumatoid arthritis which persists beyond the usual course of disease or the injury that is the cause of the pain or more than 90 days after surgery.
Department shall mean the Hendry County Community Development Department.
Pain management clinic is defined in section 1-53-2.2.
Pain clinic responsible party shall mean any person or entity which owns, in whole or in part, or operates a pain management clinic; any person who manages or supervises the operations of a pain management clinic; any person who has been designated as the responsible physician or osteopathic physician for a pain management clinic, pursuant to F.S. § 458.3265(1)(c) or 459.0137(1)(c); and any person who participates, directly or indirectly, in any activity regulated or prohibited by section 1-53-6.18, et seq.
Pharmacy shall mean any pharmacy that is subject to licensure or regulation by the Florida Department of Health under F.S. ch. 465, and dispenses controlled substances in Hendry County.
Qualified pain management clinic shall mean:
(1)
A pain management clinic which is wholly owned and operated by one or more board-certified anesthesiologists, physiatrists, or neurologists; or
(2)
A pain management clinic which is wholly owned and operated by one or more board-certified medical specialists who have also completed fellowships in pain medicine approved by the Accreditation Council for Graduate Medical Education or the American Osteopathic Association or who are also board-certified in pain medicine by a board approved by the American Board of Medical Specialties or the American Osteopathic Association and perform interventional pain procedures of the type routinely billed using surgical codes.
Except as otherwise provided, a qualified pain management clinic shall be deemed to be a pain management clinic for all purposes set forth herein.
(b)
Location.
(1)
On or after March 15, 2012, any new pain management clinic shall only be located in the zoning district(s) where such uses are permitted pursuant to table 53-1 (Table of Use Regulations) including obtaining any necessary special exception, and shall be established pursuant to the requirements of this section.
(2)
Pain management clinics, regardless of location, which existed on December 29, 2010, shall be deemed a lawful use, and not subject to the requirements of this section 1-53-6.18(b).
(c)
Distance requirements.
(1)
On or after March 15, 2012, no pain management clinic shall commence operation within 1,000 feet of any other pain management clinic.
(2)
On or after March 15, 2012, no pain management clinic shall be co-located in the same office or building with a pharmacy or within 1,000 feet of a pharmacy.
(3)
On or after March 15, 2012, no pain management clinic shall commence operation within 1,000 feet of any bar, liquor store or similar establishment.
(4)
On or after March 15, 2012, no pain management clinic shall commence operation within 1,000 feet of any residential zoning district.
(5)
On or after March 15, 2012, no pain management clinic shall commence operation within 1,000 feet of any school, daycare center or church.
(6)
Distances shall be measured by straight line measurement without regard to intervening buildings from the nearest point of the building or unit within a building in which the proposed clinic is to be located to the nearest point of the facility from which the proposed clinic is to be separated.
(d)
Operational regulations.
(1)
Display of licenses. Pain management clinics shall prominently display in a public area near their front entrance copies of all state licenses, county licenses, and occupational license/local business tax receipt, and the name of the owner and designated physician responsible for compliance with state and county law.
(2)
Payment for goods and services. No pain management clinic shall limit the form of payment for goods or services to "cash only." "Cash only" shall mean paper currency or coins.
(3)
Hours of operation. It shall be unlawful for any pain management clinic to be open for operation between the hours of 6:00 p.m. and 7:00 a.m. or at any time on a Sunday.
(4)
Loitering. It shall be unlawful for a pain management clinic owner or operator to allow any patient or business invitee to stand, sit, or gather outside of the building in which the clinic operates, on the adjoining sidewalk or in the area(s) designated for parking, except as necessary for persons to make their way from the parking area inside the building. This prohibition includes sitting in or on a vehicle. The clinic owner(s) and operator(s) shall be responsible to actively monitor and apply this regulation including posting appropriate signage. Clinics shall provide sufficient inside seating to accommodate all patients or business invitees and those who accompany such persons.
(5)
Parking. The number of parking spaces required for pain management clinics shall be the same as for those required of medical offices. The pain management clinic shall ensure that vehicles do not queue in the right-of-way or on nearby properties.
(6)
Alcoholic beverages. No consumption of alcoholic beverages may occur on the premises of a pain management clinic, including outside any building.
(e)
Signage.
(1)
Approved signage for a pain management clinic shall not include any word(s) or phrase(s) which offers or suggests goods, drugs, prescriptions or services in violation of any applicable state law or which otherwise violates state law, including without limitation, the provisions of F.S. §§ 456.037 (active license required), 456.057 (patient records requirements), 458.3265 (pain management clinic registration - MD), 458.327 (medical practice violations and penalties), 458.331 (medical disciplinary actions), 459.0137 (pain management clinic registration - DO), 459.013 (osteopathic practice violations and penalties), 459.015 (osteopath disciplinary actions), 465.0276 (dispensing practitioners) or 893.055 (drug monitoring program), as currently written or amended.
(2)
Signage for a pain management clinic shall not contain any word or phrase that uses the word "pain" or "detox", unless the clinic is operated by an approved pain specialist or as an AHCA licensed operation (F.S. Ch. 400, pt. X). No off-premises signage, including billboards wherever located, shall be permitted for the advertisement of pain management clinics.
(3)
Signage for a pain management clinic must contain the correct name of the physician or physicians designated by the clinic pursuant to F.S. §§ 458.3265(1) or 459.0137(1), as amended from time to time, and such signage shall be kept current at all times with the correct name of the practice, the correct name of the physician(s) designated, and other relevant information.
(4)
Nothing contained in this section shall be interpreted to restrict the use of the word "pain" in advertising by Florida licensed chiropractors, physical therapists, nurse practitioners, naturopaths, acupuncturists, massage therapists, dentists, oral surgeons, hospice care providers or similar treating or dispensing professionals not licensed under F.S. ch. 458 or 459.
(f)
Landlord responsibilities. Owners or landlords who lease space to a pain management clinic must expressly incorporate the provisions of sections 1-53-6.18 et seq., into their lease(s) with the clinic. Any such lease, whether oral or written, must provide that a violation of any federal or state law or county ordinance regulating or affecting pain management clinics shall be a material breach of the lease and shall constitute grounds for termination and eviction by the owner or landlord. This provision shall apply only to leases entered into or renewed on or after March 15, 2012.
(g)
Prohibited activities. Each of following activities shall be prohibited and shall constitute a violation of this Code:
(1)
Operation of a pain management clinic without a valid and current permit issued pursuant to this section.
(2)
Operation of a pain management clinic without a valid and current business tax receipt;
(3)
Operation of a pain management clinic without a valid and current registration pursuant to F.S. §§ 458.3265(1) or 459.0137(1), unless such clinic is exempt from registration under such statutes;
(4)
Submittal of a permit application, any sworn statement, or any other information required by this section, which contains materially false information;
(5)
Operation of a pain management clinic in violation of a sworn statement submitted pursuant to sections 1-53-6.18(h)(2)g or 1-53-6.18(h)(3)e.
(6)
Operation of a pain management clinic in violation of applicable law, including any provision of section 1-53-6.18, et seq.;
(7)
Prescribing or dispensing of controlled substances in violation of applicable law;
(8)
Activity within a pain management clinic with respect to a controlled substance which is in violation of the standards of practice set forth in F.S. § 456.44(3);
(9)
Operation of a pain management clinic in violation of the facility and physical operations requirements, the infection control requirements, the health and safety requirements, the quality assurance requirements or the data collection and reporting requirements set forth in F.S. § 458.3265(2)(f)—(j) and 459.0137(2)(f)—(j);
(10)
Prescribing, administering or dispensing a controlled substance without a valid and current controlled substance registration number issued by the United States Department of Justice, Drug Enforcement Administration;
(11)
Continued leasing or permitted use of a property or structure which is used as a pain management clinic if (a) the landlord or property owner knows, or through the exercise of reasonable care should know, that the clinic is being operated in violation of applicable law, and (b) despite the passage of a reasonable period of time to do so, the landlord or property owner has failed or refused to take reasonable measures to stop or prevent the continued illegal activity on the premises; or
(12)
Failure to advise the department of any change in any information, statements, facts or circumstances, as required by subsection 1-53-6.18(h)(11).
(h)
Permit required for operation of pain management clinic.
(1)
Permit required. On or after March 15, 2012, no pain management clinic shall operate by any means in Hendry County without a valid and current pain management clinic permit issued by the department; provided, however, that any pain management clinic in existence as of the effective date of this section shall have 60 days to obtain a valid and current pain management clinic permit.
(2)
Application. Any pain management clinic requesting issuance of a pain management clinic permit shall complete and submit to the department a sworn application, on a form provided by the department, containing, at a minimum, the following information:
a.
The name and address of the pain management clinic;
b.
The name and address of each owner of the pain management clinic (including, if the owner is a business entity such as a corporation, limited liability company, etc., the name and address of each officer, manager or managing member, general partner or other comparable person authorized by state law to manage the affairs of the business entity), each person who will be managing or supervising the activities of the pain management clinic, and each person who will be prescribing or administering controlled substances at the pain management clinic;
c.
The name and address of the person who has been designated as the responsible physician or osteopathic physician for the pain management clinic, pursuant to F.S. § 458.3265(1)(c) or 459.0137(1)(c);
d.
The name and address of the person or entity which owns the real property upon which the pain management clinic will be operated;
e.
Proof that the applicant is currently registered as a pain management clinic with the Florida Department of Health, pursuant to F.S. §§ 458.3265 or 459.0137;
f.
Proof that any person who will be prescribing or administering controlled substances at the pain management clinic has a valid and current controlled substance registration number issued by the United States Department of Justice, Drug Enforcement Administration, including the controlled substance registration number for each such person;
g.
A sworn statement certifying that within the ten years prior to submittal of the application, neither the pain management clinic, nor any person identified pursuant to subsections (b), (c) or (d) above, has been found by any county or municipal board, commission or council, or by any state or federal court, or by any state or federal regulatory body, to have acted with respect to controlled substances in violation of applicable law; and
h.
A sworn statement certifying that the pain management clinic, and every other clinic owned or operated by any person identified pursuant to subsections (b), (c) or (d) above, will, during the term of the permit, be operated in compliance with applicable law.
(3)
Abbreviated application for qualified pain management clinics. In lieu of completing the application form described in subsection (2), a qualified pain management clinic requesting issuance of a pain management clinic permit may complete and submit to the department a sworn application, on a form provided by the department, containing, at a minimum, the following information:
a.
The name and address of the pain management clinic;
b.
The name and address of the owner of the pain management clinic;
c.
The name and address of all physicians who will be prescribing controlled substances at the pain management clinic;
d.
Proof that the pain management clinic meets the definition of a "qualified pain management clinic" which proof may consist of written verification or confirmation from the State of Florida that the pain management clinic is exempt from State registration pursuant to F.S. § 458.3265(1)(a)2g or h or 459.0137(1)(a)2g or h; and
e.
A sworn statement certifying that the pain management clinic, and every other clinic owned or operated by any person identified pursuant to subsections (2) or (3) above, will, during the term of the permit, be operated in compliance with applicable law.
(4)
Permit application fee. A permit application fee shall be paid by the applicant at the time of submittal of the application, including renewal. The amount of the fee shall be set by resolution of the board. The amount shall be sufficient to recover the county's approximate cost of reviewing and acting upon the application.
(5)
Denial of application. The application for a pain management clinic permit shall be denied if any of the following facts are found to exist and are not cured within ten days of written notice of such deficiency:
a.
The applicant fails to pay the required permit application fee; or
b.
The applicant fails to submit all information and statements required in subsection (2) or (3) above, or the applicant has submitted such information and statements but such information and statements are found to contain materially false information.
(6)
Issuance of permit. The department shall issue the permit within 20 days of submittal of a fully complete application, if the applicant has submitted all information required in subsection (2) or (3) and none of the facts set forth in subsection (5) is found to exist.
(7)
Term of permit. A pain management clinic permit shall remain in effect for a term of two years. Thereafter, a permit shall be subject to renewal in the same manner that permits are issued initially as set forth in subsections (2) through (6).
(8)
Appeal. If an application for issuance or renewal of a pain management clinic permit is denied, the applicant shall have the right of appeal as set forth in part II, section 2-10-25 of the Hendry County Code. An appeal fee shall be paid by the applicant at the time of filing an appeal to the board. The amount of the fee shall be set by resolution of the board. The amount shall be sufficient to recover the county's approximate cost of reviewing and acting upon the appeal.
(9)
Revocation of permit. A pain management clinic permit shall be subject to revocation in code enforcement proceedings before an appropriate tribunal, in the event that:
a.
The information or statements submitted to obtain issuance or renewal of the permit contained materially false information;
b.
The permit holder, or any pain clinic responsible party, has violated any provision in this section;
c.
The permit holder, or any pain clinic responsible party, has been found by any county or municipal board, commission or council, or by any state or federal court, or by any state or federal regulatory body, to have acted with respect to controlled substances in violation of applicable law; or
d.
The permit holder, although required to be registered, is no longer registered with the Florida Department of Health, pursuant to F.S. §§ 458.3265 or 459.0137, or no longer holds a current business tax receipt for a pain management clinic, or the controlled substance registration issued by the United States Department of Justice, Drug Enforcement Administration to any person prescribing, administering or dispensing controlled substances at the pain management clinic has been suspended, revoked or denied renewal.
(10)
Emergency suspension of permit. Upon clear and convincing proof that one or more of the events set forth in subsection (9) have occurred, and upon a finding that continued operation of the pain management clinic presents an immediate danger to the health, safety and welfare of the residents of Hendry County, the department shall be authorized immediately to suspend the pain management clinic's permit. In such event, the permit holder shall have the right of appeal as set forth in part II, section 2-10-25 of the Hendry County Code. All aspects of the appeal shall be expedited. An appeal fee shall be paid by the applicant at the time of filing an appeal to the board. The amount of the fee shall be set by resolution of the board. The amount shall be sufficient to recover the county's approximate cost of reviewing and acting upon the appeal. Any emergency suspension pursuant to this subsection shall continue for a period not to exceed six months; provided, however, that if revocation of the permit is sought, the tribunal before which the revocation request is pending may extend the suspension beyond six months until completion of the revocation proceedings, if necessary to protect the health, safety and welfare of the residents of Hendry County.
(11)
Change in information or statements. The permit holder shall notify the department in writing of any change in any information or statements submitted pursuant to subsections (h)(2)a—h or (h)(3)a—e above, or of any change in any facts or circumstances such that any information or statements submitted pursuant to subsections (h)(2)a—h or (h)(3)a—e are no longer completely true and accurate. Such notification shall be provided within 30 days of the change.
(i)
Business tax receipt for pain management clinic. No pain management clinic shall operate by any means in Hendry County without having been issued a valid and current business tax receipt pursuant to this section and chapter 1-12, article IV, Hendry County Code. As a condition of issuance of a business tax receipt for a pain management clinic, the owner or operator shall (a) provide proof that it holds a valid and current permit issued pursuant to section 1-53-6.18(h), and (b) execute and deliver to the tax collector a sworn statement containing substantially the same certifications as the statements required by subsections 1-53-6.18(h)(2)g and h or 1-53-6.18(h)(3)e. If, during the term of the business tax receipt, the pain management clinic no longer holds a valid and current permit issued pursuant to section 1-53-6.18(h), or operates contrary to the sworn statement, or engages in any activity prohibited by section 1-53-6.18, et seq., the business tax receipt shall be subject to revocation by the tax collector or by a court of competent jurisdiction.
(j)
Onsite dispensing of controlled substances at pain management clinic prohibited. The onsite dispensing of controlled substances at a pain management clinic is prohibited, unless specifically authorized by applicable law.
(k)
Inspections. To the extent permitted by law, staff charged with the enforcement of this section shall have the right to enter upon the premises of a pain management clinic and conduct such inspections as are reasonably necessary to determine compliance with the requirements of section 1-53-6.18, et seq.
(l)
Enforcement. Any county code enforcement officer or law enforcement officer is authorized to investigate and enforce the provisions of this section.
A pain management clinic, pain clinic responsible party, landlord or property owner found to be in violation of this section, and any other person found to have actively participated in a violation of this section, shall be subject to any one or more of the following penalties or remedies, in addition to any other penalty or remedy available in law or in equity:
(1)
As provided in section 1-1-8 of the Hendry County Code; or
(2)
Suspension, revocation or non-renewal of the pain management clinic permit or business tax receipt; or
(3)
An order, injunction or other relief necessary to prevent the continued operation of the pain management clinic in violation of section 1-53-6.18, et seq., including, without limitation, an order requiring the pain management clinic to terminate all operations in Hendry County; and
(4)
Notwithstanding the above, no penalty imposed hereunder for any act constituting a violation of state law shall exceed the penalty provided by state law for such act.
Enforcement may occur through proceedings before any tribunal with authority to enforce the Hendry County Code.
(m)
Conformity to state and federal law. Whenever in section 1-53-6.18, et seq., reference is made to a state or federal statute, rule or regulation, or a definition is utilized that is based upon a state or federal statute, rule or regulation, the intent is to refer to such statute, rule or regulation, or utilize such definition, as amended from time to time.
(n)
Geographic application. Section 1-53-6.18, et seq., with the exception of section 1-53-6.18(b), shall apply throughout the incorporated and unincorporated areas of Hendry County, except to the extent that a municipality has adopted or adopts an ordinance in conflict with this section.
(o)
Implementation in municipalities. To the extent that this section applies within an incorporated municipality, the municipality shall perform those actions, and shall be authorized to perform those actions, which are required or authorized to be performed by the county hereunder. Such actions may be performed by (a) the municipal board (including the municipal council), department, official or employee whose purpose and function most closely resemble that of the county board, department, official or employee required or authorized to perform the action hereunder, or (b) by any other municipal board (including the municipal council), department, official or employee designated by the governing body of the municipality. All actions with respect to business tax receipts, as set forth in section 1-53-6.18(i) or otherwise, shall be performed by the municipal official or staff responsible for performing such actions with respect to business tax receipts within the municipality. Notwithstanding the above, the county and the municipality shall have concurrent jurisdiction to enforce this section with respect to violations occurring within the municipality.
(p)
Cooperation among public entities and agencies. All public entities and agencies having jurisdiction with respect to the subject matter of this section, including, without limitation, the county, the municipalities and all law enforcement agencies, are urged to cooperate and coordinate their efforts to implement and enforce this section in an effective and consistent manner.
1-53-6.19. Airport Operations Planned District (AOPD).
(a)
Purpose of district. The Airport Operations Planned District (AOPD) will provide the regulations for the operation, and expansion of Airglades International Airport (AIA). The district provides for economic development related to AIA including normal accessory uses meant to support a commercial cargo airport such as businesses and industry.
The AOPD shall be developed in accordance with specific land use and site design standards contained herein. Specific standards are established for areas within the AOPD which are to be accessible to the general public (non-secure) as well as those that are to be secured via a perimeter fence (secure). The secure area of Airglades International Airport is that area inside a fence that is not open to the public and is restricted through gates, security or signage. Where specific land use and site design standards are not contained herein, the standards of the Hendry County Land Development Code shall apply.
(b)
Non-secure area standards. Use and site design standards within the non-secure area of the AOPD are as follows:
(1)
Uses permitted. The allowable uses within the non-secure area of the AOPD include those listed below. When a use is not listed but is similar in nature in all its components to permitted or permissible uses, the use may be considered either permitted or permissible by the planning and community development director. Permitted uses within the non-secure area of the AOPD include:
a.
Above-ground water storage facilities for domestic and fire protection purposes;
b.
Accessory uses, buildings and structures that are customarily incidental and subordinate to the principal use of the structure or premises;
c.
Administrative offices;
d.
Agriculture;
e.
Aircraft engine test cell facility (if not related to airport operations must meet the noise control regulations in chapter 1-14.5);
f.
Aircraft food services and catering;
g.
Aircraft rescue and firefighting (ARFF) facility;
h.
Airfield maintenance facilities;
i.
Asphalt or concrete batch plant (only permitted during on-site construction);
j.
Automatic teller machine (ATM);
k.
Bus station or depot;
l.
Car/truck wash;
m.
Cafeteria;
n.
Cleaning and maintenance services;
o.
Commercial parking lot or garage;
p.
Commercial or trade schools;
q.
Convenience commercial;
r.
Convenience food and beverage store;
s.
Emergency operations center;
t.
EMS, fire, or law enforcement station;
u.
Entrance gates, gatehouses and security facilities;
v.
Essential public or utility facility;
w.
Essential service facilities;
x.
FAA required navigational aids, including antennas and approach lighting systems;
y.
Fences, walls;
z.
Food and beverage service;
aa.
Food truck (shall not block access, clear zones of roadways or circulation of traffic);
bb.
Freight and cargo handling establishments;
cc.
Fuel facilities including above-ground fuel storage;
dd.
Gasoline sales and service, combination gasoline sale and food marts, and similar facilities;
ee.
General aviation terminal facility;
ff.
Ground support equipment (GSE) facilities;
gg.
Hotel or motel;
hh.
Light industry;
ii.
Manufacturing of non-hazardous goods and materials;
jj.
Parcel and express services;
kk.
Parking, public or private, surface lot or parking garage;
ll.
Professional service or office;
mm.
Public and commercial transportation services including taxi dispatch, bus and tram depots, and motor freight;
nn.
Radio antennas and satellite stations when accessory to a principal use;
oo.
Railroads and railroad infrastructure;
pp.
Repair shops;
qq.
Aerospace and transportation related research and development laboratories;
rr.
Restaurant, fast food, other than those with drive-through facilities;
ss.
Restaurant, standard, other than those with drive-through facilities;
tt.
Self-service fuel pumps;
uu.
Signs;
vv.
Solar energy generation facility (not to exceed 75 megawatts);
ww.
Storage, indoor;
xx.
Storage, open;
yy.
Trucking terminals;
zz.
Warehouse and distribution facilities;
aaa.
Wastewater treatment facilities.
(2)
Uses prohibited. Except as specifically permitted in this division, the following uses are expressly prohibited as either principal or accessory uses:
a.
Any activity or structure that would conflict with section 1-53-6.13, Airports, of the Hendry County Land Development Code (LDC) or its successor ordinance.
b.
Auto salvage/junkyards.
c.
Recycling facilities.
(3)
Supplemental development standards.
a.
Maximum building height and structure height within the non-secure area of the AOPD shall be limited to 100 feet.
b.
All development within 1,000 feet of the State Road 80 right-of-way and within a non-secure area of the AOPD shall be developed in accordance with the standards of the Gateway Overlay District as established in chapter 1-58, article II of the Hendry County Land Development Code.
c.
Every lot shall be not less than 100 feet in width, 100 feet in depth and not less than 10,000 square feet in area. The lot area is determined to be the lease area of land within the non-secure area of the AOPD.
d.
No building or roofed structure shall be located less than 40 feet from its front lot line, 15 feet from its side lot line, and 20 feet from its rear lot line. The lot line is determined to be the lease area of land within the non-secure area of the AOPD.
e.
No more than one-half of the depth of any required setback area measured from a street right-of-way or easement may be used for parking and such parking shall be located on the half of the required setback furthest from the street right-of-way, easement or lease boundary. The balance of the setback area shall be landscaped and used for no other purpose.
f.
All required setback areas, except where used for permitted parking, shall be landscaped. Parking may be developed in the setback provided it does not encroach into the required landscape buffer area.
g.
Signs, light standards, and fences shall be permitted in required building setback areas as hereinafter specified but cannot be closer than five feet from the lease boundary.
h.
All fences and walls shall be constructed of concrete, masonry, or metal. Metal fences shall be of the open-weave, chain-link type. Fences and walls shall not exceed ten feet in height. Additional height may be permitted to accommodate three strands of barbed wire. Fences and walls shall not be located within any setback required from a lease line. The planning and community development director may approve fences to be located within the setback area if the required landscaping and streetscaping are provided and the visibility triangle is not negatively impacted.
i.
Open space and landscaping.
1.
Minimum open space. Each lot shall provide no less than five percent of its area in open space. The open space area shall be landscaped with grass, ground cover, or appropriate landscaping materials. The required buffer areas and landscaping may be credited towards the landscaped open space area calculations. The area between the building and the street shall be used for open space and green areas to the greatest extent possible, taking into account necessary parking. All landscaping shall be completed prior to issuance of a certificate of occupancy with respect to the building constructed or erected.
2.
Landscaping shall be provided adjacent to public roads in non-secure areas of the AOPD and shall be installed prior to issuance of a certificate of occupancy. Landscaping shall comply with chapter 1-58, article III of the Hendry County Land Development Code. Any development along Airglades Boulevard will provide landscaping consistent with landscaping requirements set forth in section 1-53-6.17(d)(6)b. of the Hendry County LDC.
3.
Alternate landscape betterment plan. Applications pursuant to this section and LDC section 1-58-41 may propose an alternate landscape betterment plan if it can be demonstrated that the plan still meets the landscaped open space and the streetscape requirements. Considerations for a betterment plan may include, but are not limited to, water conservation designs, larger trees at planting, and greater open space areas. Required side and rear yard buffering between individual lots in accordance with LDC section 1-58-41 may be amended through an alternate landscape betterment plan if the uses are similar or it is shown to create an operational hardship. For example, such amendments may include requiring buffering on the first lot to obtain a site development plan (SDP) and not on the adjacent lot. This amendment would be an example of minimizing the need for irrigation and therefore creating water conservation measures.
j.
All outside storage of materials, supplies, products, loading docks, equipment or machinery, except automobiles, shall be screened from direct view at ground level from any public street.
k.
It is intended that driveways on public streets under the jurisdiction of the State of Florida outside the AOPD will be consistent with FDOT access requirements. Access connection spacing shall be a minimum of 1,320 feet on Flaghole Road, and with full median openings every 2,640 feet upon the four laning of Flaghole Road. However, an access connection/full median opening is permitted 2,200 feet south of the SR80/US27 intersection. This provision does not preclude the county from having an access connection to Flaghole Road to access its properties and said access connections shall not be subject to the access spacing requirements or affect the spacing requirements for access to Airglades Airport.
l.
All parking within the AOPD shall be in designated parking areas. Parking spaces shall be constructed with dimensions of nine feet by 18 feet. Designated parking areas shall be constructed with aisle widths of 24 feet for parking stalls angled at 90 degrees.
m.
All signage shall comply with the Hendry County Land Development Code.
n.
Stormwater management systems shall be designed with a 4:1 slope and shall to be graded from the top-of-bank to a break-point at least six feet below the control elevation of the excavated area. Below this break-point, slopes shall be no steeper than 2:1 to the bottom of the excavation. Dry detention systems may be a minimum of 2:1 slope.
(Ord. No. 2011-05, § 1, 5-10-2011; Ord. No. 84-5, §§ 14, 17, 10-9-1984; Ord. No. 85-2, § 2, 4-9-1985; Ord. No. 91-23, § 3(53-6), 8-27-1991; Ord. No. 91-25, § 1, 12-16-1991; Ord. No. 96-01, § 3, 2-13-1996; Ord. No. 97-04, § 2, 2-11-1997; Ord. No. 98-11, §§ 1, 2, 11-24-1998; Ord. No. 2006-14, § 1, 5-23-2006; Ord. No. 2008-22, §§ 15—21, 11-12-2008; Ord. No. 2009-10, § 1, 5-12-2009; Ord. No. 2007-13, §§ 1—4, 7-10-2007; Ord. No. 2010-02, § 11, 1-12-2010; Ord. No. 2010-15, § 1, 4-27-2010; Ord. No. 2011-05, § 1, 5-10-2011; Ord. No. 2012-03, § 4, 2-28-2012; Ord. No. 2012-05, § 1, 3-27-2012; Ord. No. 2012-11, § 1, 4-24-12; Ord. No. 2016-02, § 1, 1-12-16; Ord. No. 2016-05, § 1, 2-23-2016; Ord. No. 2016-18, § 1, 9-27-2016; Ord. No. 2018-11, § 1, 5-22-2018; Ord. No. 2019-19, § 1, 7-16-2019; Ord. No. 2019-32, § 1, 11-12-2019; Ord. No. 2020-07, § 1, 4-14-2020; Ord. No. 2020-28, § 1, 11-10-2020; Ord. No. 2021-24, § 1(Exh. A), 11-9-2021; Ord. No. 2021-25, § 1(Exh. A), 11-9-2021; Ord. No. 2022-05, § 1(Exh. A), 3-22-2022; Ord. No. 2023-05, § 1(Exh. A), 4-11-2023)