Zoneomics Logo
search icon

Lafayette City Zoning Code

ARTICLE 2

- DISTRICTS

Summary: this chapter establishes the zoning districts for the City of Lafayette, the regulations that apply to each district, and a comprehensive list of uses (the "Use Table").

Technical standards such as how building height and setbacks are measured, how buildings relate to utility easements, development in required setbacks, and development on substandard rights-of-way, are addressed in article 3.


Sec. 89-6.- Generally.

(a)

To promote the public health, safety, morals, and general welfare of the community, the City of Lafayette is divided into the following districts:

DistrictCross-ReferencePlanLafayette Future Land Use
"A" Agricultural 89-8 Rural / Agriculture.
Buffer and building design requirements of Article 4 apply if the area is not zoned.
"RS-1" and "RS-2" Residential Single-Family 89-9 Residential
"RM-1" and "RM-2" Residential Mixed 89-10 Mixed Residential
"MN-1," "MN-2" and "MN-3" Mixed-Use Neighborhood 89-11 Transitional Mixed-Use
"MX-1" and "MX-2" Mixed-Use Center 89-12 Mixed-Use Center
"D" Downtown 89-13 Mixed-Use Center
"CM-1" and "CM-2" Commercial Mixed 89-14 Commercial / Office
"CH" Commercial Heavy 89-15 Commercial / Office
"IL" Industrial Light 89-16 Office / Industrial
"IH" Industrial Heavy 89-17 Office / Industrial
"PD" Planned Development 89-18 Any of the above
"PI" Public / Institutional 89-19 Any of the above & Public Park

 

(1)

The RS, RM, MN and CM districts each have subdistricts (e.g., RS-1, RS-2). The uses allowed in a district are consistent across subdistricts, whereas dimensional and development standards differ.

(2)

The MN, CM and CH districts include alternative development types, labeled "A" and "B." Development Type "A" provides for urban-type development, with reduced landscaping and parking requirements but increased frontage buildout requirements. Development Type "B" provides for more conventional, suburban-type development, with greater parking, landscaping and green infrastructure requirements to accommodate vehicular access and to mitigate the impacts of paved surfaces and buildings. The following criteria determine whether an application is required to use Development Type "A" or "B":

Parking (on-street on adjoining streets that provide direct access to the property) Any street includes on-street parking or has the capacity for on-street parking.
Speed limit (adjoining streets that provide direct access to the property) ≤ 35 mph
Street Classification (adjoining streets that provide direct access to the property) All streets are classified as minor arterials or collectors, or are local streets.
Mix of Uses 1 There is at least one Residential, Commercial/Mixed-Use, and Public/Civic/Institutional use within a quarter mile of the property. These uses are those classified by the use table within the labeled Use Category (§Table 89-21-1).
Density 2 There are residential uses other than dwelling, single-family detached within a quarter mile of the property.

 

1 When determining "Mix of Uses," a quarter-mile is measured as the distance a person walks or drives from the nearest point of the subject property line to the nearest point of the second property line.
2 When determining "Density," a quarter-mile is measured as the radius from the centroid of the subject property.

Sites that meet all five of the criteria above shall be required to use development type "A" unless otherwise determined by the board of zoning adjustment. Sites that do not meet all five of the criteria above may use either Development Type "A" or Development Type "B."

(b)

Notwithstanding any setback established by this Article, buildings adjacent to substandard streets may be subject to additional setbacks (see article 3, §89-38).

(c)

Private roads and driveways. A private road or driveway shall be accessory to the principal use of the parcel or lot upon which the same is located. Where a private road or driveway is the principal use of a parcel or lot, the use of such private road or driveway shall be concordant with the zoning district of the property upon which the private road or driveway is located. Accordingly, a private road or driveway located on property zoned RS shall not be trafficked except for traffic accessory to uses permitted in the RS district. Notwithstanding the forgoing, traffic, accessory to uses permitted in the RS district, shall be permitted on private roads and driveways located within the RM district; traffic, accessory to uses permitted in the RS and RM districts, shall be permitted on private roads and driveways located within MN, CM and CH; and traffic, accessory to uses permitted in CH and PI districts, shall be permitted on private roads and driveways located with IL and IH districts.

Sec. 89-7. - Zoning map.

(a)

The boundaries of the zoning districts are shown on a separate instrument referred to as the zoning map of the Lafayette Consolidated Government (LCG). The Official Zoning Map is maintained as an electronic map layer by the LCG Geographic Information Systems (GIS) application maintained by development and planning department ("DPD"). The official copy of the electronic version of the official zoning map shall be recorded onto permanent media to ensure the electronic information is protected.

(b)

The map, together with all of its notations, references, and other information, is a part of this chapter and has the same force and effect as if fully set forth or described in the text.

Sec. 89-8. - "A" Agricultural.

Purpose: the "A" Agricultural district implements the Rural/Agriculture future land use category of PlanLafayette by creating a district for land that is principally agricultural or natural in character. The area has low residential densities, and commercial areas are small in scale and either buffered from residential uses or integrated with a conservation design development. This district is applied on a voluntary basis at the request of a property owner, or as part of an area plan. Property owners have the option to build on a lot by lot basis, or to use a conservation subdivision option. Unzoned unincorporated areas that are not subject to the "A" district are subject to the landscaping, buffering and screening standards in article 3.

(a)

Permitted uses. See § 89-21.

(b)

Dimensional standards.

Option 1 Option 2
Lot Requirements
1 Lot size (min) 20 acres n/a
2 Lot coverage (max) 2% n/a
3 Lot frontage (min) 100' 50'
Setbacks (principal buildings)
4 Front / corner street 30' 20'
5 Side 10' 5'
6 Rear 40' 20'
Bulk Plane (⇔ See 89-27)
7 From RS district boundary 3 stories for the first 200' from the front, side or rear setback line or boundary of a conservation development (see subsection (c). This requirement does not apply beyond 200' from the setback or development boundary line.

 

Notes:

(1)   Option 1 refers to development on an individual lot, except as provided below. Option 2 refers to conservation design.

(2)   Lot size, coverage and frontage do not apply to Public/Civic/Institutional uses.

(c)

Conservation design.

Purpose: a conservation subdivision is a development option that preserves agricultural land, natural resources, and rural character. The standards provide for low development impacts, while providing design flexibility and eliminating standards that would require unnecessary consumption of land. The site characteristics conserve important site features such as open space networks and contiguous woodland habitats adjacent to other existing open space tracts. The site design should encourage connectivity between environmental characteristics of adjacent properties and provide a continuous open space network between the proposed development layout and the adjacent properties. Intermodal trails which provide a link to adjacent properties as an enhancement of recreational opportunities are encouraged. Because the development standards are flexible, development costs per lot are significantly lower than conventional options, and lot yield is typically higher. Conservation street designs are provided in article 3 of this chapter.

(1)

Lot yield. The number of lots that may be developed under a Conservation Design approach are based on —

a.

A maximum density of one dwelling unit per five acres. To maintain design flexibility and to maximize open space and rural character, minimum lot size requirements do not apply, and

b.

The conservation areas provided (see subsection (2), below).

(2)

Conservation areas.

a.

Amount. As a baseline, at least 60 percent of the site shall be preserved as conservation areas. This percentage establishes a baseline requirement that is adjusted based on the quality and value of the conservation space, based on conservation units (see below).

1.

Determine the number of conservation units within the conservation areas as follows:

Type of Conservation Area
(defined in Article 3)
Conservation Units
Woodland 1.15
Floodplain or Wetland (not within a riparian corridor) 1.0
Agriculture land 1.0
Riparian Corridor 1.25
Other 0.9
Areas of up to 5 acres that are not part of contiguous conservation areas 0.65

 

2.

Determine the conserved portion of the development as follows:

C = S * (0.6 x U), where

C = conserved portion of the development

S = site area (prior to subdivision)

U = conservation units

b.

Excluded areas. The following areas do not qualify as conservation units:

1.

Stormwater detention areas or artificial water bodies;

2.

Septic recovery areas, except as provided in subsection 89-8(c)(2)(d); or

3.

Lawns or planted areas located on private lots.

c.

Agricultural land.

1.

Farm structures shall be retained whenever possible.

2.

The subdivision or development layout shall retain existing farm operations within the conservation area.

d.

Stormwater management and septic areas.

1.

Septic recovery areas and stormwater management facilities may be counted as part of a conservation area if —

A.

The area is maintained by the homeowners' association; and

B.

The applicant demonstrates, by a report submitted by a registered professional engineer, that:

i.

there is no adverse impact to the character of that area of land, such as —

ii.

increased runoff, or

iii.

impairment of water quality, or

iv.

a decrease in existing tree cover, and

v.

the developed area of the site is inadequate to accommodate these facilities.

2.

Dry ponds with associated steep slopes, dams, mowed areas, fencing or unsightly overflow structures do not count toward the required conservation area.

3.

Farm ponds, bioretention ponds, naturally contoured ponds and wet ponds with wetland edges and no visible structures may count as part of a conservation area.

4.

Septic recovery areas may count as part of a conservation area if -

A.

They are maintained by the homeowners' association, and

B.

Designed so that they are visually integrated with the existing landscape.

(3)

Preservation of conservation areas. See § 89-40(e).

(4)

Continuity of conservation areas.

a.

Fragmentation of the conservation area into small, irregularly shaped conservation parcels and lots is prohibited.

b.

Naturally contiguous conservation areas shall not be divided for the sole purposes of obtaining allowable density.

c.

Conservation areas shall connect with existing and potential conservation areas on abutting sites to encourage corridors of compatible site characteristics, unless it is found to be impractical due to topography, spacing or existing natural barriers.

Sec. 89-9. - "RS" Residential Single-Family.

Purpose: the "RS" districts implement the Residential future land use category of PlanLafayette by providing for predominantly detached, single family neighborhoods. The dimensional standards accommodate a variety of densities and lot sizes.

(a)

Permitted uses. See § 89-21.

(b)

Dimensional standards.

Lot Requirements RS-1 RS-2
1 Lot size (min) 6,000 sf 4,000 sf
2 Open space (min) 20% 15%
3 Lot Frontage (min) 30' n/a
Setbacks (principal buildings)
4 Front street (min) * 20' 5'
5 Side (min) 5' 3'
6 Rear (min, common lot line) 10' 10'
7 Rear-alley (min) 3' 3'
Bulk Plane (⇔ See 89-27)
8 From RS district boundary or another RS zoned lot or parcel 3 stories for the first 50' from the front, side or rear lot line, then 1 additional story for each additional 50' from the setback line. This requirement does not apply beyond 200' from any lot line.

 

Refer to Article 3 for rules and measurement of building height, lots, and setbacks.

* For corner lots, see §89-38(c)(6)(g)

(1)

Required front, side, and rear setbacks must be planted in grass or other planting except for required ingress and egress.

(2)

For buildings adjacent to substandard streets, an additional setback may apply (see article 3, § 89-38).

(3)

Non-residential uses in the RS district are subject to the same standards as residential uses, except as provided in article 5.

(4)

For any subdivision of three or more lots zoned RS-2 with lot widths less than 40 feet, an alley will be required and access must be provided by that alley. Lot widths greater than or equal to 40 feet can be serviced by alleys and/or driveways. Notwithstanding the foregoing, in the discretion of the administrator, the use of driveways is permissible as an alternate to the alley requirement where feasible and aesthetically appropriate.

(5)

For wedge-shaped lots or lots fronting on a cul-de-sac, the minimum lot frontage in RS-1 shall be 25 feet.

(Ord. No. JO-024-2021, § 3(Exh. C), 7-20-21)

Sec. 89-10. - "RM" Residential Mixed.

Purpose: the "RM" districts implement the Mixed Residential and Residential future land use categories of PlanLafayette by providing for a wide range of housing types, from single-family detached units to apartments. The dimensional standards accommodate a variety of densities and lot sizes.

(a)

Permitted uses. See § 89-21.

(b)

Dimensional standards

Lot Requirements RM-1 RM-2
1 Lot size (min) n/a n/a
2 Open space (min) 20% 15%
Setbacks (principal buildings)
3 Front / corner street (min) 5' 5'
4 Side (min) n/a n/a
5 Rear (min-common lot line) 10' 10'
6 Rear-alley (min) 3' 3'
Bulk Plane (⇔ See 89-27) >
7 From RS district boundary 3 stories for the first 50' from the front, side or rear lot line, then 1 additional story for each additional 50' from the setback line. This requirement does not apply beyond 200' from any lot line bordering the RS district.

 

(1)

Maximum density for attached or zero lot line (dwelling units per gross acre) is as follows:

DistrictDensity (max)
RM-1 25
RM-2 42

 

(2)

Notwithstanding that there is no minimum lot size in the RM zoning district, each detached Single-Family Residence in the RM zoning district shall be subject to a minimum lot size of 3,000 square feet, and each detached Single-Family Residence in the RM-2 zoning district shall be subject to the same alley requirements as the RS-2 zoning district.

(3)

Building entrances shall face the street or an interior courtyard, except for interior units that are screened from the street by street facing buildings. The rear of buildings shall not face the street.

(Ord. No. JO-004-2023, § 3(Exh. C), 2-1-23)

Sec. 89-11. - "MN" Mixed-Use Neighborhood.

Purpose: the 'MN" district —

implements the Transitional Mixed-Use future land use category of PlanLafayette,

provides an opportunity to establish neighborhood retail, convenience, service, office, and institutional uses in the Residential and Mixed Residential categories,

provides a transition between residential areas and more intense commercial corridors, and

provides opportunities for pedestrian access between residential and commercial areas.

Each district has type "A" (urban) and type "B" (suburban) development types, as described and permitted in § 89-6.

(a)

Permitted uses. See § 89-21.

(b)

Dimensional standards.

MN-1 MN-2 MN-3
Development Type A B A B A B
Lot Requirements
1 Lot size (min) n/a n/a n/a n/a n/a n/a
2 Density (max) * applies to mixed-use or residential uses only 17 20 n/a 25 n/a 30
3 Open space (min) n/a 15% n/a 10% n/a 15%
Setbacks (principal buildings)
4 Front / corner street (min) n/a n/a n/a n/a n/a n/a
5 Front / corner street (max) 20' n/a 20' n/a 15' 65'
6 Frontage buildout (min) 65% n/a 75% n/a 90% 65%
7 Side (min) n/a n/a n/a n/a n/a n/a
8 Rear-common property line or alley (min) 5' 5' 5' 5' 5' 5'
Height (⇔ See 89-27)
9 Bulk Plane (from RS boundary) n/a 2 n/a 3 n/a 3
10 Building Height (max stories) 3 n/a 4 n/a 5 n/a
The Bulk Plane number above indicates the maximum stories for the first 50' from the front, side or rear lot line, then 1 additional story for each additional 50' from the setback line. This requirement does not apply beyond 200' from any lot line bordering the RS district.

 

(c)

Whenever a setback greater than the maximum setback established by this Section is required under § 89-38(e), the setback requirements of § 89-38(e) shall supersede the maximum setback established in this Section. In that case, the setback required under § 89-38(e) shall be the maximum setback.

(d)

In the MN district, no sound shall be amplified outside of the confines of a building.

(e)

Drive-in and drive-through establishments are subject to article 5, § 89-80.

(f)

For frontages on minor arterials, collectors, or local streets: if the width of the front lot line is 100 feet or less, the buildout requirement is reduced by ten percentage points.

(g)

For frontages on major arterials: the frontage buildout requirement is reduced to 40 percent for corner lots.

(h)

For a single-family detached dwelling, the minimum setbacks shall be subject to the same minimum setbacks as the "RM" Residential-Mixed zoning district.

(i)

Corner lot developments will use highest classified road, as determined by LCG, when determining frontage buildout and setback requirements.

(j)

A detached single-family residence in the MN zoning district shall be subject to a minimum lot size of 3,000 square feet.

(Ord. No. JO-024-2021, § 3(Exh. C), 7-20-21; Ord. No. JO-067-2024, 11-18-24)

Sec. 89-12. - "MX" Mixed-Use Center.

Purpose: the "MX" districts implement the Mixed-Use Center future land use category of PlanLafayette for centers outside of downtown. This includes a wide range of commercial, institutional and residential uses, and development design and intensity that supports walkable streets and transit. MX districts are part of approved mixed-use centers (MUCs) (see § 89-28). The MX district is divided into subdistricts based upon the development context, and the location of a lot on an "A" or "B" Street.

⇔ See article 3, § 89-28 (Mixed-Use Center Design Standards) for processes and standards for designating mixed-use centers and master plan elements such as MX subdistricts and "A" and "B" streets.

⇔ See article 3, § 89-29 (Mixed-Use Building Standards) for building design standards that are referenced in this section. These include minimum buildout, entryways, facade design, and architectural features.

(a)

Permitted uses. See § 89-21.

(b)

Dimensional standards

(1)

Generally. This section establishes dimensional standards for each MX district. These standards are keyed to the standards defined in § 89-28Article 3, § 89-29. For development that is subject to a Master Site Plan and a development agreement, the LCG may designate the applicable dimensional standards in the development agreement.

(2)

MX-1. MX-1 provides a high level of density, intensity and design to reflect the more urban character of Mixed-Use Centers in the LCG's established neighborhoods.

Setbacks (principal buildings)
1 Front / corner street (min) n/a
2 Front / corner street (max) 15'
3 Frontage buildout (min) 90%
4 Side (min) n/a
5 Rear-alley or common lot line (min) n/a
Bulk Plane (⇔ See section 89-27
6 From RS district boundary 3 stories for the first 12' from the front or rear setback line, then 1 additional story for each additional 12' from the setback line. This requirement does not apply beyond 60' from the setback line.

 

(3)

MX-2. MX-2 provides an opportunity for mixed-use development in the edges of the city, or for projects that annex to the city, at a lower scale and intensity than MX-1.

Setbacks (principal buildings)
1 Front / corner street (min) n/a
2 Front / corner street (max) 25'
3 Frontage buildout (min) 70%
4 Side (min) n/a
5 Rear-alley or common lot line (min) n/a
Bulk Plane (⇔ See section 89-27)
6 From RS district boundary 3 stories for the first 20' from the front or rear setback line, then 1 additional story for each additional 20' from the setback line. This requirement does not apply beyond 100' from the setback line.

 

Sec. 89-13. - "D" Downtown.

Purpose: the "D" district implements the Mixed-Use Center future land use category of PlanLafayette. This provides the highest density and intensity in the City and Parish, and preserves its unique character and function.

(a)

Permitted uses. See § 89-21.

(b)

General provisions.

(1)

Intent.

a.

To provide development standards that enhance and protect the core downtown amenities of vibrancy as characterized by human activity and interaction; convenience to one's daily needs; and public space as defined by high quality outdoor rooms.

b.

To ensure the appropriate character and function for private property having the following characteristics:

1.

Buildings are aligned parallel to the street, built close to the sidewalk, and configured to minimize gaps between buildings in order to physically shape the street as an outdoor room.

2.

Sidewalks are shaded with awnings and galleries.

3.

Shopfronts maximize transparency with clear windows.

4.

Location of all off-street parking, both surface and structured, screened from street view.

5.

Main building entries face the sidewalk to increase activity on the street.

6.

Building facade height must be a minimum to create a sense of enclosure and a maximum to avoid eliminating sunlight from the outdoor room.

7.

A sufficient amount of openings facing the street, such as windows and doors, create interest and enhance security.

c.

To ensure the appropriate character and function for the public realm having the following characteristics:

1.

Thoroughfares designed for vehicle speeds not to exceed 25 mph for a sense of comfort and safety.

2.

Encourage outdoor dining so long as an adequate walkway width is maintained.

3.

Defined "Furnishing Zone" allowing placement of trees, bicycle parking, parking meters, street lights, and other streetscape elements.

4.

Sidewalks shaded with street trees where awnings and galleries are not present.

5.

On-street parking serves as a buffer for people walking and dining, helps reduce vehicle speeds, and provides convenient parking for shoppers and guests.

6.

Walkways are wide enough to allow at least two people to walk side-by-side comfortably.

(c)

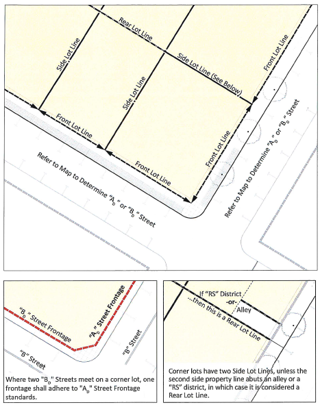
Establishment of lot lines and ADand BDStreets.

(1)

Definition of front lot line(s): A Front Lot Line is the front or side (in the case of a corner lot) lot line along a public street or pedestrian right-of way. All lots shall have at least one front lot line.

(2)

Definition of side and rear lot lines: Side and Rear Lot Lines are established as follows:

a.

Side Lot Lines are established between adjoining lots.

b.

Rear lot lines are those that do not intersect with a front lot line or that abut an alley.

c.

Corner lots have two side lot lines, unless the second side lot line abuts an alley or a residential district in which case it is considered a rear lot line.

(3)

Establishment of ADand BDstreets: All existing and future streets and pedestrian rights-of-way within and immediately adjacent to this zoning district shall be classified as either an "A D " Street or "B D " Street where:

a.

"A D " Streets are designed at the highest standards for vibrancy as characterized by human activity and interaction, and public spaces defined by high quality outdoor rooms.

b.

"B D " Streets allow for reduced Frontage standards allowing for more flexibility and a limited vehicular interface.

c.

Corner lots have two Front Lot Lines. Where two "B D " Streets meet, one frontage shall adhere to "A D " Street Frontage standards.

(4)

ADand BDStreets Map: An official A D and B D Street Map as adopted and amended from time to time by the provisions of this ordinance is provided below:

(d)

Building placement.

(1)

Setbacks

a.

Front setback: Maximum 10.0 feet.

1.

Front setback area: The area within the front setback shall be the Front Setback Area and shall be used for:

A.

Placement and articulation of the building Facade;

B.

Establishing required minimum public walkways;

C.

Providing additional sidewalk space for outdoor dining and other commercial-related activities,

D.

Street furniture and non-permanent planters; and

E.

In the case of a Residential Frontage, landscaped yards and building access such as porches and stoops.

2.

Required front setback for walkway: Where a minimum Public Walkway width requirement has not been met, a setback is required in accordance with Building Interface and Public Frontage Standards.

3.

Required front setback at corner: To ensure adequate pedestrian circulation and visibility at corners, corner lots shall maintain a minimum corner setback formed by the line joining two points measured 20.0 feet along the edge of pavement on each side to their intersecting point.

4.

Corner line of sight: All Required Lines of Sight shall be calculated at no higher than a 25 mph design speed as determined by PW.

5.

Notwithstanding anything herein to the contrary, where a walkway encroaches onto private property, the maximum setback shall be ten feet from the interior line of such walkway.

b.

Side setback: There shall be no required setback where a Party Wall is built at the lot line, otherwise a minimum 3.0 foot side setback is required where:

1.

No party wall is to be built, or

2.

The abutting lot is zoned Residential.

c.

Rear setback: Minimum setbacks from a rear lot line shall be as follows:

1.

12.0 feet from the center-line of an alley, or

2.

10.0 feet from a rear lot line adjoining another Downtown parcel or Commercial district, or

3.

20.0 feet from a rear lot line adjoining a lot zoned Residential.

d.

Secondary building setbacks: On lots with more than one building and where the Frontage Buildout requirements of this district have been met, additional buildings on a lot shall not be subject to the front setback and Frontage Buildout requirements.

(2)

Frontage buildout.

a.

Frontage buildout: The facade of a building shall be built to a minimum percentage of the front lot line width within the maximum allowed front setback as follows:

1.

For frontages on an "A D " Street with a front lot line width of 100.0 feet or less, a minimum of 80 percent of the facade must be built within the front setback area.

2.

For frontages on a "A D " Street with a lot widths greater than 100.0 feet, a minimum of 90 percent of the facade must be built within the front setback area; provided, however, that in calculating lot width, neither areas dedicated to a side setback nor, in the case of a corner lot, areas dedicated to a walkway that encroaches upon private property shall be counted.

3.

For frontages on a "B D " Street: a minimum of 40 percent of the facade must be built within the front setback area.

4.

Pedestrian passages and vehicular access through buildings having habitable space built above them to a minimum depth of 18.0 feet and within the front setback area shall be counted toward minimum frontage buildout requirements.

b.

Building depth: The frontage buildout shall be built to the minimum building depth from the front facade as follows:

1.

Parking garages along "B D " Streets shall build out their required frontage buildout to a minimum building depth of 12.0 feet.

2.

All other buildings shall be built to the minimum depth of 18.0 feet.

3.

The building depth shall be habitable space as described in subsection (f)(1) building interface general.

c.

Facade alignment: Facades facing the front lot line shall be built parallel to the front lot line or to the tangent of a curved front lot line.

d.

Building footprint: The maximum building footprint on a lot shall be 90 percent of the lot unless the lot is less than 10,000 square feet or has alley access, in which case it shall have no maximum.

(e)

Building height.

(1)

Building height: There are no maximum building heights within the Downtown district except as they are limited by the following:

a.

Parking for buildings over five stories: buildings over five stories shall be subject to additional parking standards as set forth in subsection (g) parking and access; and

b.

Stepbacks for buildings over five stories: Buildings over five stories shall have a minimum building stepback of 10.0 feet starting at the sixth floor.

(2)

Building facade height: All buildings shall have a minimum 20.0 foot building facade height as measured from the walkway. Building facade height for single story buildings shall be measured from the walkway to the top of a parapet or eaves line.

(3)

Habitable roofs: As described in section 89-27 Building height, habitable space within enclosed attics, towers, and penthouses with an area equaling 50 percent or less of the building area of the story immediately below shall not be counted as a story. Non-conditioned rooftop space, covered or uncovered, such as rooftop terraces and patios are permitted, but are not included as habitable space.

(4)

Building height exceptions: Elements that are exempt from building height regulations are as described in section 89-27 Building height.

(5)

Commercial ground story: Commercial ground stories shall have a minimum 12.0 foot floor to ceiling height or a 13.0 foot finished floor to second story finished floor height.

(6)

Residential ground story: Residential ground stories shall:

a.

Be raised a minimum of 18.0 inches from sidewalk level; and

b.

Have a minimum 10.0 foot finished floor to finished floor.

(7)

Minimum story height: All stories shall have a minimum of 9.0 feet from finished floor to finished floor of story above.

(f)

Building interface.

(1)

General.

a.

Private frontage interface: The private frontage shall be established as the area within the front setback area from the front lot line up to and including the facade and the required habitable space.

b.

Habitable space: Habitable space is building area suitable for active human use such as residential, office, retail, and institutional uses. Parking and warehousing are examples of non-habitable space. The required building depth as described in subsection (d)(2), Frontage Buildout shall be habitable space.

c.

Primary building entry: Habitable space at the front lot line shall have its primary entry(s) within the front setback area. Upper stories shall have direct access to the front setback area.

d.

Private frontage interfaces: There are two possible private frontage types. Private frontages are limited to the following, and are to be designed in conformance to their applicable standards (as noted):

1.

Commercial frontage (f)(2).

2.

Urban residential frontage (f)(3).

e.

Frontage attachments: Galleries and awnings are not required. Galleries and awnings shall not overlap the walkway and/or encroach into the public right-of-way unless constructed in accordance with subsection (f)(4), Building interface: Gallery standards and subsection, (f)(5) Building interface: Awning standards.

f.

Upper story facade requirements.

1.

Glazing above the first story facade shall be a minimum of 20 percent of the facade wall area.

2.

Low pitch or flat roofs on new buildings shall be enclosed by a parapet that is a minimum of 3.0 feet in height, or as necessary to screen the view of mechanical equipment from the Walkway. Existing buildings shall screen mechanical equipment through a parapet or by other means.

3.

Upper story balconies can extend over public sidewalk to maximum depth of 4.0 feet. See section 78-4 (Right-of-way encroachments)

g.

Development over accessways: To achieve a connected street wall and for more efficient use of land, buildings may extend over pedestrian and vehicular accessways to internal blocks as follows:

1.

Required pedestrian passages shall form a continuous minimum at-grade opening of 12.0 feet sidewalk to ceiling height and a width of 8.0 feet.

2.

Vehicular access to structured and surface parking having the following unobstructed dimensions:

A.

A minimum opening height of 10.0 feet in height, or 14.0 feet in height when over a shared alley or street with service or emergency functions; and

B.

A minimum width of 12.0 feet, or a minimum width of 20 feet (18 feet curb face to curb face minimum) when over a shared alley or street with service or emergency functions. The maximum width of the opening shall be 24 feet.

h.

Required pedestrian passage: Any block length having 300.0 feet or more of continuous building frontage shall be required to have an unobstructed pedestrian passageway for emergency service access.

i.

Building facades: Buildings wider than 100 feet shall be divided into distinct and separate building facades no wider than 100.0 feet.

(2)

Building interface: commercial frontage.

a.

Minimum glazing: Facades along "A D " Streets shall be glazed with no less than 50 percent of the first story measured between the ground and 10.0 feet of the walkway. Facades along "B D " Streets shall be glazed with no less than 30 percent of the first story measured between the ground and 10.0 feet of the walkway. Mullions, muntin and frames that are no wider than 4.0 inches shall be included as part of the glazed area.

b.

Glass transparency: All glass shall be transparent with a maximum 15 percent reflectivity. Any window tinting, graphics, and interior affixed window shades that create a permanent opaque or translucent condition are prohibited, except for allowed signage.

c.

Setback landscaping: Setbacks shall be paved and shall be available for outdoor dining and furnishing where the minimum Walkway width is established as required in subsection (h)(3).

d.

Shading of private and public frontage: In addition to shade provided by street trees where they are provided, shading of the private and public frontage can be achieved through the combination of a gallery and/or awning frontage.

(3)

Building interface: urban residential frontage.

a.

Minimum glazing: Facades shall be glazed with no less than 25 percent of the first story measured between 2.0 feet and 10.0 feet of the Walkway.

b.

Glass transparency: All glass shall be transparent with a maximum 15 percent reflectivity. Window tinting and interior affixed window shades that create a permanently opaque or translucent condition are prohibited. Window shading and privacy can be achieved through interior adjustable window treatments, and/or operable exterior shutters.

c.

Raised ground story access: Access to the required minimum 18.0 inch raised residential ground story can be achieved through exterior or interior steps and ramping.

d.

Flex frontage: The raised residential ground story requirement shall be waived where:

1.

The ground story at the frontage to a minimum depth of 18.0 feet is built to a commercial building standard;

2.

No other residential room is at the frontage;

3.

There is a separate entry for the Residential and Commercial areas of the building, and a lockable interior connection between the areas.

e.

Shallow setback landscaping: After minimum walkway requirements are met, setbacks less than 6.0 feet may be landscaped or paved.

f.

Deep setback landscaping: After minimum walkway requirements are met, setbacks over 6.0 feet of the walkway shall be landscaped.

g.

Deep setback planter wall: After minimum walkway requirements are met and where setbacks from the walkway are greater than six feet, a required landscaping wall shall be built at the perimeter of the yard, measuring a minimum 12.0 inches in height and 4.0 inches in depth. A side wall is not required where the planter wall is continuous with an abutting yard.

(4)

Building interface: gallery standards.

a.

Gallery standards: Galleries may not cover the public frontage unless the following standards are met:

1.

Galleries shall have the following minimum dimensions:

A.

Depth: 8.0 feet

B.

Height to ceiling: 11.0 feet

C.

Clear height: 8.0 feet

2.

Galleries are not permitted above the third story.

3.

No element of a gallery shall encroach closer than 1.0 foot to the face of curb, or 2.0 feet when adjacent to overhead utilities or a Drive Lane (as opposed to a Parking Lane).

4.

All gallery roof overhangs above 20.0 feet from the sidewalk can be built to the face of curb where overhead utilities are not present.

5.

Galleries shall have a consistent depth.

6.

Galleries may include a vertical shade between columns to within 7.0 feet of the sidewalk.

7.

Galleries shall include illumination of the sidewalk.

8.

Galleries shall not be built over an electrical transformer.

9.

When built within the public right-of-way, galleries are subject to applicable agreements with LCG and utility providers.

(5)

Building interface: awning standards

a.

Awning standards: Awnings may not cover the public frontage unless the following standards are met:

1.

Awnings shall have a minimum depth of 4.0 feet from the facade.

2.

Retractable awnings may cover sidewalks to the face of curb and to a minimum height of 7.0 feet from the sidewalk.

3.

Fixed awnings shall be built to a minimum height of eight feet from the sidewalk and to within a minimum of 1.0 feet of the curb.

4.

Awnings shall not extend closer than 2.0 feet from the face of curb when adjacent to overhead utility lines or a drive lane (as opposed to a parking lane).

5.

The fabric fringe of an awning may extend as a vertical shade to within 7.0 feet of the sidewalk where it does not impede the walkway.

6.

Fixed awnings shall not be built over an electrical transformer.

7.

When built within the public right-of-way, awnings are subject to applicable agreements with LCG and utility providers.

(g)

Parking and access.

(1)

Vehicle parking space requirements:

a.

There shall be no minimum parking space requirements for all buildings of five stories or less.

b.

For buildings over five stories, parking shall be provided on the lot, screened from the walkway as per the provisions of this code, and the minimum number of required parking spaces for the entire building shall be as follows:

1.

Retail: Three spaces/1,000 sf

2.

Office: Two spaces/1,000 sf

3.

Residential: One space/Unit

4.

Accommodations: One space/room

(2)

Location of off-street parking: Off-street parking shall not be viewable from the walkway unless the following conditions are met:

a.

Parking garage standards subsection (g)(3), or

b.

Parking screen standard subsection (g)(4).

(3)

Parking garage standards: The following applies to parking garages:

a.

Parking garages along "B D " streets shall be masked from view of the walkway by the required frontage buildout subsection (d)(2) for the first story. The remainder of the garage may be unmasked provided the following standards are met:

1.

Upper stories of the parking garage shall have a facade where all openings are vertically proportioned.

2.

Any exposed parking spaces at the ground story shall be subject to subsection (g)(4) Parking screen standards.

b.

Parking garages along "A" streets shall be fully masked by the required frontage buildout subsection (d)(2) to the height of the parking garage.

(4)

Parking screen standards.

a.

Opaque height: 40.0 inches minimum, 8.0 feet maximum vertical distance from the top of the walkway.

b.

Material: Rigid opaque materials to minimum depth of 4.0 inches, and to the minimum height after which other materials may be used to the maximum height. Decorative metal in combination with vegetative landscaping can be used in place of rigid materials. Chain-link and wood fences are not permitted. Vegetative landscaping shall achieve and maintain the required minimum opaque height within one year of installation.

c.

Setback landscaping: Parking screens shall be set back a minimum of 2.0 feet from the walkway and may be landscaped or paved. In no case shall a parking screen be set closer to the walkway than the building facade.

d.

Parking screens shall allow openings no wider than 24.0 feet for vehicles, and provide openings as needed for pedestrian access along the rear of the building.

(5)

Parking and loading access.

a.

Loading facilities and service areas shall not be visible along "A D " Street Walkways.

b.

Loading facilities and service areas are permitted within the front setback area of a building on a "B D " Street, but shall not count toward the required frontage buildout.

c.

Garbage enclosures shall not be visible from view of a walkway.

d.

Where a lot abuts an alley, parking shall be accessed from the alley.

e.

Drive aisle dimensions: Minimum 24.0 feet for two way traffic. One-way drive aisles are allowed only for angled parking (both back-in/head-out and head-in/back-out) with dimensions as follows:

1.

45° parking stall: minimum 12.0 foot drive aisle

2.

60° degree parking stall: minimum 16.0 foot drive aisle

3.

75° degree parking stall: minimum 23.0 foot drive aisle

4.

Where drive aisle does not abut parking space: minimum 18.0 foot drive aisle.

f.

Parking stall dimensions:

1.

Width as measured on-centre: Minimum 8.0 feet, typically 9.0 feet, or a minimum 9.5 feet to accommodate door openings where the side of a stall is directly adjacent to a wall or vertical element over 6.0 inches in height.

2.

Length: Minimum 18.0 feet.

g.

Vehicular entrances to off-street parking lots and parking garages shall be no wider than 24.0 feet at the front lot line.

(h)

Public frontage.

(1)

Public frontage: The public frontage shall be established as the area between the front lot line and the face of curb.

(2)

Public frontage components: The public frontage has three primary components.

a.

The furnishing zone: The area between the face of curb and the walkway utilized for street light standards, utility poles, street furniture, outdoor dining, planting areas, and tree planting.

b.

The walkway: A continuous, unobstructed, accessible, paved area dedicated to pedestrian movement along the private frontage. Walkways are required on all public frontages.

c.

The interface zone: The area between the walkway and the building facade (not including residential yards) available for outdoor dining, sidewalk signs, street furniture, non-affixed planters, and outdoor merchandising.

(3)

Minimum walkway widths: Minimum, unobstructed walkway widths shall be established as follows:

a.

A minimum of 8.0 feet on "A D " Streets.

b.

A minimum of 5.0 feet on "B D " Streets.

c.

Unobstructed front setback areas that are paved at the same grade as the adjoining walkway shall be counted toward the minimum walkway width.

d.

Bollards installed for pedestrian safety shall not be considered an obstruction to a walkway.

e.

Non-permanent outdoor dining may encroach into an "A D " Street Walkway provided that a minimum 5.0 feet clear is maintained.

Sec. 89-14. - "CM" commercial mixed.

Purpose: the "CM" district implements the commercial/office future land use category of PlanLafayette. This district provides for compact development patterns and pedestrian friendly design features.

The "CM" districts are divided into two types:

CM-1, which is smaller in scale, and is compatible in massing and buildout with nearby single-family neighborhoods, and

CM-2, which accommodates a more intense mix of uses and taller, or "high-rise," residential with an urban form.

Each district has type "A" (urban) and type "B" (suburban) development types, as described and permitted in section 89-6.

(a)

Permitted uses. See section 89-21.

(b)

Dimensional standards.

CM-1 CM-2
Development Type A B A B
Lot Requirements
1 Lot size (min) n/a n/a n/a n/a
2 Density (max)
* applies to mixed-use or residential uses only
n/a 25 n/a 35
3 Open space (min) n/a 15% n/a 10%
Setbacks (principal buildings)
4 Front / corner street (min) n/a n/a n/a n/a
5 Front / corner street (max) 15' 80' 15' 35'
6 Frontage buildout (min) 65% 35% 75% 45%
7 Side (min) n/a n/a n/a n/a
8 Rear-common property line or alley (min) 5' 5' 5' 5'
Height (⇔ See 89-27)
9 Bulk Plane (from RS boundary) 3 2 4 3
The Bulk Plane number above indicates the maximum stories for the first 50' from the front, side or rear lot line, then 1 additional story for each additional 50' from the setback line. This requirement does not apply beyond 200' from any lot line bordering the RS district.
10 Building Height (max stories) 4 n/a 5 n/a

 

(c)

Whenever a setback greater than the maximum setback established by this section is required under section 89-38(e), the setback requirements of section 89-38(e) shall supersede the maximum setback established in this section. In that case, the setback required under section 89-38(e) shall be the maximum setback.

(d)

The minimum frontage buildout established by this section may be reduced to the extent necessary to satisfy any other requirement of this chapter.

(e)

For frontages on minor arterials, collectors, or local streets: if the width of the front lot line is 100 feet or less, the buildout requirement is reduced by ten percentage points.

(f)

For frontages on major arterials: the frontage buildout requirement is reduced to 40 percent for corner lots.

(g)

Corner lot developments will use highest classified road, as determined by LCG, when determining frontage buildout and setback requirements.

(h)

Parking reduction for "A" development types. The following provisions apply:

(1)

The number of parking spaces required by section 89-39(g) is reduced by 50 percent.

(2)

The administrator may further reduce the number of spaces as needed to accommodate reductions in space attributable to the placement of buildings required by the front/corner street setback and minimum frontage buildout.

Note: For permitted and conditional uses in the CM (CM-1 and CM-2) districts, see section 89-21. See article III for specific rules, measurement standards, and alternatives for development standards such as open space, setbacks, bulk plane, and buffers and landscaping (in particular, see section 89-36 for alternative standards relative to tree distribution in vehicular use areas, reduced parking lot landscaping requirements, tree preservation credits, increased buffer thresholds and reduced buffer widths). Refer to section 89-80 for standards for drive-in and drive-through establishments.

Sec. 89-15. - "CH" commercial-heavy.

Purpose: The "CH" district implements the commercial/office future land use category of PlanLafayette. The district allows compact development patterns, but provides flexibility for front parking, loading, and building design features for heavy commercial or service-oriented uses (such as large format retailers, auto dealerships, and repair services). PlanLafayette provides that the commercial office future land use category is principally a pedestrian oriented area. This district should only be used for locations where these uses currently exist, or where a rezoning applicant demonstrates that there is unmet market demand for the use.

(a)

Permitted uses. See section 89-21.

(b)

Dimensional standards.

A B
Lot Requirements
1 Lot Size n/a n/a
2 Open space (min) 10% 20%
Setbacks (principal buildings)
3 Front / corner street (min) n/a n/a
4 Front / corner street (max) 35' n/a
5 Frontage buildout (min) 40% n/a
6 Side (min) n/a n/a
7 Rear-common property line or alley (min) 5' 20'
Bulk Plane (⇔ See 89-27)
8 From RS district boundary 3 stories for the first 50' from the front, side or rear lot line, then 1 additional story for each additional 50' from the setback line. This requirement does not apply beyond 200' from any lot line bordering the RS district.

 

(1)

Maximum density is 25 dwelling units per gross acre. This applies to mixed-use buildings or to residential uses permitted in the district.

(2)

A buffer may be required (see article 3section 89-36).

(3)

Front, side, and rear setbacks must be planted in grass or other plantings except for required ingress and egress.

(4)

For buildings adjacent to substandard streets, an additional setback may apply (see article 3section 89-38).

(c)

Whenever a setback greater than the maximum setback established by this section is required under section 89-38(e), the setback requirements of section 89-38(e) shall supersede the maximum setback established in this section. In that case, the setback required under section 89-38(e) shall be the maximum setback.

(d)

Corner lot developments will use highest classified road, as determined by LCG, when determining frontage buildout and setback requirements.

(e)

Parking reduction for "A" Development Types. The following provisions apply:

(1)

The number of parking spaces required by section 89-39(g) is reduced by 50 percent.

(2)

The administrator may further reduce the number of spaces as needed to accommodate reductions in space attributable to the placement of buildings required by the front/corner street setback and minimum frontage buildout.

Note: For permitted and conditional uses in the CH districts, see section 89-21. See article III for specific rules, measurement standards, and alternatives for development standards such as open space, setbacks, bulk plane, and buffers and landscaping (in particular, see section 89-36 for alternative standards relative to tree distribution in vehicular use areas, reduced parking lot landscaping requirements, tree preservation credits, increased buffer thresholds and reduced buffer widths). Refer to section 89-80 for standards for drive-in and drive-through establishments.

Sec. 89-16. - "IL" industrial-light.

Purpose: the "IL" district implements the Office/Industrial future land use category of PlanLafayette by accommodating existing light industrial uses, and encouraging new light industrial or office park employment uses in locations designated in the plan. Buffering is required in article 3.

(a)

Permitted uses. See section 89-21.

(b)

Dimensional standards.

Lot Requirements
1 Open space (min) 20%
Setbacks (principal buildings)
2 Front / corner street (min) n/a
3 Side (min) n/a
4 Rear-common property line or alley (min) 20'
Bulk Plane (⇔ See section 89-27)
5 From RS district boundary 3 stories for the first 50' from the front, side or rear lot line, then 1 additional story for each additional 50' from the setback line. This requirement does not apply beyond 200' from any lot line bordering the RS district.

 

(1)

A buffer may be required (see article 3, section 89-36).

(2)

Front, side, and rear setbacks must be planted in grass or other planting except for required ingress and egress.

(3)

For buildings adjacent to substandard streets, an additional setback may apply (see article 3, section 89-38).

Sec. 89-17. - "IH" industrial-heavy.

Purpose: the "IH" district implements the Office/Industrial future land use category of PlanLafayette by accommodating existing and future heavy industrial uses. Buffering is required in article 3.

(a)

Permitted uses. See section 89-21.

(b)

Dimensional standards.

Lot Requirements
1 Open space (min) 10%
Setbacks (principal buildings)
2 Front / corner street (min) n/a
3 Side (min) n/a
4 Rear-common property line or alley (min) n/a
Bulk Plane (⇔ See 89-27)
5 From RS district boundary 3 stories for the first 50' from the front, side or rear lot line, then 1 additional story for each additional 50 feet from the setback line. This requirement does not apply beyond 200' from any lot line bordering the RS district.

 

(1)

A buffer may be required (see article 3, section 89-36).

(2)

Front, side, and rear setbacks must be planted in grass or other plantings except for required ingress and egress.

(3)

For buildings adjacent to substandard streets, an additional setback may apply (see article 3, section 89-38).

Sec. 89-18. - "PD" planned development.

Purpose: the "PD" district gives the LCG, property owners, and developers the opportunity to proceed with development that —

•  cannot meet the standards in one of the base zoning districts, and

•  is consistent with and accomplishes the policies of PlanLafayette, or a strong public need, and

•  provides the LCG valid assurances that it will mitigate any anticipated impacts on the general public.

A PD rezoning requires legislative approval, which involves a high degree of discretion by the appropriate zoning commission.

(a)

Permitted uses. Permitted uses for a PD are designated in the ordinance approving the PD rezoning.

(b)

Dimensional standards. Dimensional standards for a PD are designated in the ordinance approving the PD rezoning

(c)

Minimum design requirements. The following are the minimum design requirements for a PD development. The applicant shall demonstrate how the development complies with these requirements in the concept plan.

(1)

Site relationship to immediate surroundings.

a.

The planned development's relationship to its immediate surroundings shall avoid adverse effects to surrounding development from traffic circulation, building height or bulk, lack of screening, or intrusions on privacy.

b.

Areas which cannot be feasibly serviced by necessary public services, including transportation, street maintenance, schools, police, fire, and utilities, shall not be approved for planned development.

c.

Adequate landscaping must be provided to reduce the visual impact of off-street parking areas and provide a logical transition between the planned development and surrounding uses. Landscaped buffers shall be provided to screen commercial and industrial uses when those uses differ from surrounding uses. Screening shall buffer potential adverse effects of light, noise or other undesirable elements that could disturb surrounding development.

(2)

Utilities.

a.

The developer shall provide water, sewer and electrical facilities for connection to a public utility which meets the standards established by Lafayette Utility System ("LUS").

b.

Wherever practical and feasible, all utilities shall be placed underground.

(3)

Off-street parking.

a.

Parking shall comply with article 3 and this section.

b.

Parking may be provided in grouped facilities to service several separate uses and consolidated facilities are encouraged.

c.

The placement and design of parking facilities shall be consistent with PlanLafayette's policies for multi-modal accessibility by pedestrians, cyclists or transit.

(4)

Circulation.

a.

Construction of the planned development shall include adequate, safe, and convenient arrangements for pedestrian circulation, streets, driveways, off-street parking and loading space.

b.

Public streets must serve the entire planned development. However, the where private roads would otherwise be allowed under this chapter, PW may approve private roads for a planned development if they meet minimum construction standards and can be used by police and fire department vehicles for emergency purposes.

c.

The geometric design of internal ways, streets and alleys shall be determined by sound planning and engineering standards. Consideration shall be given to special street widths, construction and paving requirements resulting from multi-modal access requirements within the planned development.

(5)

Common open space and civic space.

a.

Common open space and civic space shall meet or exceed the applicable requirements of article 3.

b.

The applicant shall designate the type, location, dimensions, and maintenance requirements for the common open space in the concept plan.

(6)

Compliance with subdivision design standards. The planned development shall be subject to all appropriate design, flood, and drainage standards in these regulations.

(d)

Application requirements. The following procedures apply to an application for PD rezoning:

(1)

Pre-application. Prior to submitting a formal application for planned development, a pre-application conference with the DPD is encouraged in order for the applicant to become acquainted with planned development procedures and related requirements.

(2)

Concept plan. The applicant shall include a concept plan with the rezoning application.

Sec. 89-19. - "PI-L" and "PI" public/institutional light and heavy.

Purpose: the "PI-L", and "PI-H" districts are appropriate in any PlanLafayette land use category, and specifically implements the public park category. These standards provide flexibility for the wide range of potential public or institutional facilities.

(a)

Permitted uses in "PI-L", and "PI-H" . See section 89-21.

(b)

Dimensional standards.

Lot Requirements
1 Open space (min) 20%
Setbacks (principal buildings)
2 Front / corner street (min) 20'
3 Side (min) n/a
4 Rear-common property line or alley (min) n/a
Bulk Plane (⇔ See 89-27)
5 From RS district boundary 3 stories for the first 50' from the front, side or rear lot line, then 1 additional story for each additional 50' from the setback line. This requirement does not apply beyond 200' from any lot line bordering the RS district.

 

(c)

Any references to "PI" throughout this chapter are intended to include PI-L and/or PI-H where applicable.

(Ord. No. JO-021-2022, § 2(Exh. B), 3-22-22)

Sec. 89-20. - Annexed territory.

(a)

Generally.

(1)

All territory that is annexed to the City of Lafayette is automatically assigned the "A" Agricultural classification until existing land uses are determined and a new zoning category is adopted.

(2)

In lieu of the "A" district, the applicant for annexation may provide an application for rezoning concurrent with any petition for annexation. If the proper notice is given, the zoning classification may be approved concurrent with final approval of the annexation, or after the annexation is complete.

(3)

Time limitations. Unless another district is applied at the time of annexation, the "A" district zoning classification will apply to that property until:

a.

The LCG initiates and approves a rezoning to another zoning district as provided in article 4.

b.

The owner or owners of property automatically zoned "A" may file an application to rezone the property as provided in article 4. The appropriate zoning commission will then proceed through normal zoning reclassification procedures.

c.

Property automatically zoned "A" is considered on a priority basis and shall be scheduled at the earliest possible scheduled regular meeting of the appropriate zoning commission.

Sec. 89-21. - Use table.

(a)

This section establishes the uses that are permitted in each zoning district. Each use is defined in subsection (d), below.

(b)

The Use Table (Table 89-21-2) establishes the following categories of uses:

NotationCategoryDescription
P By right The use is permitted if it meets the standards established in the zoning district, and any other applicable standards of this Chapter.
C Conditional Use The use requires a conditional use permit approved by the appropriate Zoning Commissions (see § 89-54).
A Accessory Use A use customarily incidental and subordinate to the principal use or building and located on the same lot with the principal use or building.
Not permitted A blank cell indicates that the use is not allowed in the district. A property owner who wants to establish the use may apply for a rezoning to a district that does allow the use.

 

(c)

If a use is not defined in this section, the administrator may authorize the use if —

(1)

The use is functionally the same as a listed use, or

(2)

The use has similar visual, traffic, environmental and similar impacts as an expressly listed use. The administrator may refer to empirical studies or generally accepted planning or engineering sources in making this determination. The burden is on the applicant to establish that the use is similar to the expressly listed use, or

(3)

Other comparably sized jurisdictions have successfully integrated the use in one or more equivalent zoning districts.

(4)

The use is within the same industry classification as another permitted use. In making this determination, the administrator may refer to the most recent edition of the North American Industry Classification Manual (Executive Office of the President, Office of Management and Budget, ("NAICS"). If the use is not defined in the NAICS, the Administrator may refer to the most recent addition of the American Planning Association, Land-Based Classification Standards LBCS Tables, or any other recognized and accepted publication in the industry.

Table 89-21-2 Use Table

Use Category
"A" Agricultural
"RS-1" Residential Single-Family
"RS-2" Residential Single-Family
"RM" Mixed Residential
"MN" Mixed-Use Neighborhood
"MX" Mixed-Use Center
"D" Downtown
"CM" Commercial Mixed
"CH" Commercial Heavy
"PI-L" Public/Institutional-Light
"PI-H" Public/Institutional-Heavy
"IL" Industrial Light
"IH" Industrial Heavy
Residential
Residences:
Dwelling, single-family detached P P P P
Accessory apartment P P P P P P C
Cottage Courts C P P P C P
Dwelling, two-family (duplex) C P P P P
Multi-family P P P P P P
Live/Work Dwelling P P P P P
Manufactured home
Manufactured Housing Land Lease Community P C C
Apartment House P P P P P
Apartment Hotel P P P P P
Townhouse / Row house C P P P P P P
Group Living:
Boarding House P P P P
Community living P P P P P P
Community home P P P P P P P P
Life care or continuing care services P P P P P
Lodging
Bed and breakfast C C C C C C
Short-Term Rental *See LCG Code, Chapter 73-3 P* P* P* P* P* P* P* P* P*
Hotel (small) P P P P P P P
Hotel / Motel P P P P P P
Recreational vehicle park C C C
Commercial/Mixed-Use
Animal Services:
Animal hospital (indoor) P P P P P P P
Animal services, generally P P P P
Financial Services:
Automated teller machine, stand-alone P P P P P P P P
Financial institutions P P P P P A A P P
Food & Beverage Sales/Service:
Bar/Lounge C P C C P C C P
Food/Art market P P P P P A A
Food preparation P P P P P A A
Food service C P P P P A A
Mobile Food Establishment A A A A A A A A A A A A
Mobile Food Establishment Park C P P P P P
Mobile vendor P P P P P A A P
Restaurant C P P P P A A P
Snack or beverage bars P P P P P A A P
Mixed-Use:
Mixed-use building P P P P P A P
Office, Business & Professional:
Office P P P P P P A P
Personal/Business services:
Bail bond services P P P P
Business support services P P P P A A P
Courier, messenger and delivery services P P P A A P P
Day Labor Service P P P P
Funeral & interment services P P P P
Crematorium P P P
Linen/Uniform Supply P P P A A P P
Maintenance & repair services P P P P P
Personal services P P P P P A A
Pick-up station (laundry and/or dry cleaning) P P P P P
Retail sales:
Convenience store P P P P P C C P
Convenience store (with fuel sales) C C P P
Nonstore retailers P P P P P
Nursery/Horticulture/Farm Supply C P P P P
Retail, limited (A) P P P P P A A P
Retail, limited (B) P P P P A A P
Retail, general P P P A A P
Vehicles/Equipment:
Auto and truck repair P P P
Automobile or vehicle
dealership
P P P P P
Building material sales
& services
C P P
Car Wash P P P
Commercial and Industrial Machinery and Equipment Rental and Leasing P P P
Gasoline or diesel fuel sales C P P P
Manufactured Home
Dealers
P P P
Truckstop P P
Public/Civic/Institutional

Day Care:
Adult day care C P P P P
Child care facility,
commercial
C P P P P P A A P
Child care facility, residential P P P P P P P
Assembly:
Cemetery/mausoleum/columbarium P P P P P P P P P P
Church or worship center P P P P P P P P P P
Exhibition, convention, or conference facility P P P P P P
Banquet, reception or event hall P P P P P P P
Club or lodge (private) C P P P P P P P
Government/Non-Profit:
Armory P P P
Detention or penal
institution
P P P P
Vehicle/equipment maintenance facility A P P P
Public Safety Facility P P P P P P P P P P P P
Social assistance, welfare, and charitable services P P P P P P P
Postal services P P P P P P P P P
Educational:
College / technical school P P P P C P P
School (public or private) P P P P P P P P P P P P
Personal instructional services P P P P P A P P
Medical:
Hospital or sanitarium P P P P P P
Medical office, clinic, or laboratory P P P P P A A P P
Arts, Entertainment, & Recreation:
Adult business P P P
Civic Spaces P P P P P P P P P P P
Cultural facility P P P P P P P
Entertainment facility C P C C P P P
Theater C P P P P P P
Health/fitness club P P P P P P P P
Recreational Facility, Indoor P P P P P P P
Recreational Facility, Outdoor or Major C P P P P
Industrial/Production

Manufacturing & Employment:
Contractor C P P
Data Processing, Hosting, and Related Services (including data centers) P P P P P A P P P
Dirt pit, sand pit or similar excavation C
Industrial Services P P
Media Production P P P A P P P
Mining & quarrying
Manufacturing, Light P P P P P P
Manufacturing, General C C P P
Manufacturing, Intensive P P
Oil and gas company
(drilling and exploration)
P P
Research and development P P P P P
Oil and mining support activities P P
Stone cutting P P
Warehousing, Storage & Distribution:

Building and landscaping materials supplier P P P
Building maintenance services P P P P
Freight depot (railway and truck) P P
Fuel Distribution or Recycling P
Machinery and heavy equipment sales and service P P P
Self-service storage facility C P C P P P
Oil & gas storage P P
Outdoor storage P P P
Vehicle towing and storage facility
Wholesale distribution, warehousing and storage P P P P
Infrastructure

Transportation/Parking:
Airport P P
Ground passenger transportation (e.g., taxi, charter bus) P P P P P
Heliport / miscellaneous air transportation A A A A A A A A
Parking facility P P P A P P P
Railroad facilities P P
Railroad right-of-way P P P P P P P P P P P P
Passenger depot P P P
Transit shelter P P P P P P P P P P P
Utilities:
Utility, Major P P P P P P P P
Utility, Minor P P P P P P P P P
Communications facilities:
Communications facility P P P P P A P P P
Wireless communication tower or antenna P C P C P A P P P
Weather or environmental monitoring station P P P P P A P P P
Waste-related:
Hazardous waste disposal
Hazardous waste transfer
Junk yards
Recycling plant P
Remediation Services P
Solid waste
Agriculture
Farming P P P P P P P P P P P P
Poultry and egg production P P P
Community garden P P P P P P P P P P P P
Crop Agriculture P P P P P P P P P P P P
Community Supported Agriculture P P P P P P P P P P P P
Accessory
Accessory use (generally) A A A A A A A A A A A A
Accessory commercial uses C
Accessory farm use A A A A A A A A A A A A
Accessory schools A A A A A A A A A A A A
Accessory retail and personal service, office, or
recreational use
A A A A A A A A A A A A
Caretaker or guard A A A A A A A A A A A A
Construction yard A A A A A
Home occupation A A A A A A A A
Model home complex / temporary real estate sales office A A A A A A A A
Parking garage, private A A A A A A A
Pharmacy, accessory C A A A A A A A
Recreational facility,
accessory
A A A A A A A A A A A
Sign A A A A A A A A A A A A
Storage A A A A A A A A A A A
Electric Charging Stations A A A A A A A A A
Miscellaneous
Temporary Uses A A A A A A A A A A A A

 

(d)

The uses listed in the Use Table (Table 89-21) above are defined as follows:

Residential
Residences
Dwelling, single-family detached A detached building designed as a residence for one family.
Accessory apartment A secondary, independent living facility located in, or on the same lot as, a single-family residence, or such other principal structure or use as approved by the Administrator. An accessory apartment may be rented to a household separate from that occupying the principal building on the lot.
Cottage Courts A single lot that includes detached single family dwellings or duplexes arranged around a courtyard or open space.
Dwelling, two-family (duplex) A single building designed as a residence for two families living separately on one lot. The units may be integrated horizontally, vertically (with one above the other), or back to back. No more than one duplex shall be allowed on a single lot.
Multi-family A building designed as a residence for more than two families living separately, sometimes called apartments or flats. It includes any form of family occupancy, including traditional or non-traditional households, elderly housing, or retirement housing. The units may be integrated horizontally and vertically, or with 2 units stacked vertically and separated from adjacent units by a party wall (sometimes called "stacked flats"). Two or more duplexes on a single lot shall be considered Multi-family.
Live/Work Dwelling A principally residential building that includes an office, studio, or other commercial use and a single dwelling unit occupied by the building owner. Compare: (1) Home Occupations (listed under "Accessory," below). A live-work unit allows a broader range of commercial and production-type uses and more non-residential floor area than a home occupation. In addition, a live-work unit may be designed as a townhouse or with a storefront or other commercial design configuration at the ground level, while a home occupation occurs in a building that is designed as a residence. (2) Mixed-use Building (listed under Commercial / Mixed-use — Mixed-use, below). A Mixed-use Building allows multiple businesses and residences in the same building, while a Live/Work Dwelling is generally limited to a single dwelling unit and a single business.
Manufactured home A factory-built dwelling unit constructed to the standards and codes promulgated by the United States Department of Housing and Urban Development (HUD), under the National Manufactured Housing Construction and Safety Standards Act of 1974, 42 U.S.C. §5401 et seq., as amended ((See LRSA 51:911.22).
Manufactured Housing Land Lease Community A parcel or tract of land where the principal use is the rental, leasing or occupancy of space by two or more manufactured homes on a permanent or semi-permanent basis, and customary accessory buildings or uses such as clubhouses, laundries, or management and sales units.
Apartment House A building that - (1) is a converted single-family detached dwelling, or with architectural features and massing that are compatible with single-family dwellings, and (2) that consists of at least 3 separate dwelling units. This use type is different from a boarding house in that the units are intended for occupancy as permanent residences, and each unit may have separate kitchens and bathroom facilities. This use type is sometimes called a "big house."
Apartment Hotel A hotel in which at least 90 percent of the hotel accommodations are available for occupancy by permanent guests.
Townhouse / Row house A single-family dwelling forming one of a group or series of two or more attached single-family dwellings, separated from one another by a property line, party walls without doors, windows, or other provisions for human passage or visibility through the walls from basement or cellar to roof, and having roofs which may extend from one of the dwelling units to another.
Group Living:
Boarding House A building other than a hotel where meals or lodging, or both, are provided for compensation by pre-arrangement for a definite period. Examples include dormitories, fraternities, sororities, or dorms. This use type does not include a hotel, motel, or multi-family building. A multifamily building or apartment house includes separate dwelling units occupied by a single household, while a boarding house includes separate households sharing kitchen facilities.
Community living Establishments primarily engaged in providing one or more of the following housing services: (1) short term emergency shelter for victims of domestic violence, sexual assault, or child abuse; (2) temporary residential shelter for the homeless, runaway youths, and patients and families caught in medical crises; or (3) transitional housing for low-income individuals and families. Note: while the industry (NAICS) category includes construction of low cost housing and housing repair activities, those features are not regulated by zoning, and the housing types would fall within another listed category.
Community home A facility certified, licensed, or monitored by the Department of Health and Hospitals to provide resident services and supervision to six or fewer handicapped persons. Such facility shall provide supervisory personnel in order to function as a single family unit but not to exceed two live-in persons. (Source: LRSA § 28:477) This use does not include persons handicapped by reason of current drug abuse or alcohol abuse, nor shall it apply to handicapped persons currently under sentence or on parole from any criminal violation or who have been found not guilty of a criminal charge by reason of insanity.
Life care or continuing care services An institution, residence or facility that provides accommodation and personal assistance to residents who depend on the services of others by reason of age and physical or mental impairment, and that is licensed to provide skilled nursing care. This category includes nursing or convalescent homes, hospices, or assisted living facilities. A "nursing or convalescent home" is any part of a building where shelter, board, and nursing care for 3 or more persons of all ages not related to the operator, requiring that care because of infirmities of old age, illness, and/or disability of a physical or mental nature. "Assisted living" is a residence that primarily serves the elderly and provides rooms and meals, and may provide personal care and supervision of self-administered medication. They may provide other services, such as recreational activities, financial services and transportation. This use does not include an establishment which provides care only during the day, or a halfway house for recovering alcohol and drug abusers.
Live/Work Dwelling A principally residential building that includes an office, studio, or other commercial use and a single dwelling unit occupied by the building owner. Compare: (1) Home Occupations (listed under "Accessory," below). A live-work unit allows a broader range of commercial and production-type uses and more non-residential floor area than a home occupation. In addition, a live-work unit may be designed as a townhouse or with a storefront or other commercial design configuration at the ground level, while a home occupation occurs in a building that is designed as a residence. (2) Mixed-use Building (listed under Commercial / Mixed-Use — Mixed-Use, below). A Mixed-use Building allows multiple buildings and residences in the same building, while a Live/Work Dwelling is generally limited to a single dwelling unit and a single business.
Lodging
Bed and breakfast An owner- or operator-occupied house, or part of a house, that offers no more than 9 guest bedrooms for overnight paid occupancy of up to 30 consecutive nights, and where breakfast is provided to guests.
Hotel (small) A Hotel that does not contain more than 50 guest rooms and does not exceed three stories in height.
Hotel/Motel A building containing rooms intended or designed to be used or which are used, rented, or hired out to be occupied, or which are occupied for sleeping purposes by guests and transients and where only a general kitchen and dining room are provided within the building or in an accessory building.
Recreational vehicle park A parcel or tract of land where Spaces are offered for rent and/or rented for Recreational Vehicles which may include Common Area. This use does not include a Manufactured Housing Land Lease Community.
Short-Term Rental The provision of a Dwelling or Dwelling Unit that offers one or more guest rooms, and that is suitable and utilized solely for temporary residential occupancy for a period of fewer than 30 consecutive days, in exchange for compensation.
Commercial/Mixed-Use
Animal Services
Animal hospital (indoor) Any part of a building designed or used to care for or observe animals under medical treatment, supervised by a licensed veterinarian. The treatment of animals occurs entirely inside the principal building and not in ancillary or accessory buildings. This use does not include outside kennels.
Animal services, generally Any part of a building designed or used to care for, board, groom, observe, or treat animals, supervised by a licensed veterinarian. This use may include overnight boarding or outdoor confinement or exercise areas. Includes a dog pound.
Financial Services
Automated teller machine, stand-alone An automated teller machine that is at a location separate from the controlling financial institution.
Financial institutions A business where the primary occupation is financial services such as banking, savings and loans, loan offices, and check cashing and currency exchange outlets. It does not include financial services that typically occur in an office or storefront, such as investment companies, loan companies, credit and mortgage, insurance services, or brokerage firms, which are classified under "Office," below.
Pawn shop A business that loans money on the security of pledges, deposits or other secured transactions in personal property (other than vehicles or other transportation devices).
Food & Beverage Sales/Service:
Bar/Lounge An establishment where the main source of revenue is the sale of alcoholic beverages which are customarily consumed on the premises. This includes taverns, brewpubs, microbreweries, neighborhood taverns/bars/pubs, or micro distilleries where food and drink are served on the premises.
Food/Art market A structure or place where agricultural produce, art or hand-made craft is brought for the purpose of retail sales from vehicles, temporary stands, or stalls. These include more than one seller per parcel of land. Examples include farmers markets, seafood markets, mobile markets, art markets, maker markets and craft fairs.
Food preparation A business that prepares food and beverages for off-site consumption, including delivery services. Examples include catering shops, bakeries with on-site retail sales, and the small-scale production of specialty foods (such as sweets). This classification excludes food production of an industrial character.
Food service An establishment for retail sales of food and beverages for off-site preparation and consumption. Examples include grocers/supermarkets, specialty food stores, fruit and/or vegetable stands, butcher shops, delicatessens, dairy product sales, food cooperatives, or convenience markets. This category also includes large-scale stores that sell food items and beverages in bulk.
Mobile food establishment A vehicle-mounted food establishment (as defined by LCG Code of Ordinances, Chapter 70, section 70-86) designed to be readily movable which includes a motorized or towed self-contained food service operation truck or towed self-contained trailer unit designed to be readily movable. A mobile food establishment shall not mean a stand, booth or cart.
Mobile food establishment park A lot of record which is occupied or intended or designed or improved for occupancy by not less than two nor more than ten mobile mobile food establishments for the purpose of offering food and/or drink for sale to the public as the principal use of the lot of record in compliance with § 89-95-4.
Mobile vendor Any person, including any employee or agent of another, who sells or offers to sell, barter or trade from a vending vehicle, trailer or cart. Mobile vendors do not include mobile food establishments.
Restaurant A structure where food and drink are prepared, served, and consumed. Examples include microbreweries, micro distilleries, sit-down restaurants, cafes, delis, ice cream parlors, specialty food and/or outside dining patios and sitting areas. May include take-out, drive-in, sit-down service, or the sale and consumption of alcohol. The zoning district regulations indicate whether a drive-thru facility for food service is allowed.
Snack or beverage bars Establishments primarily engaged in (1) preparing and/or serving a specialty snack, such as ice cream, coffee and/or pastries, frozen yogurt, cookies, or popcorn, or (2) serving nonalcoholic beverages, such as coffee, juices, or sodas for consumption on or near the premises.
Mixed-Use:
Mixed-use building A building with any of the following floor space configurations: (1) an office, as defined below, located above the ground floor, where the ground floor is occupied by any use permitted by right in the applicable zoning district, or any use permitted as a conditional use in the applicable zoning district, provided that, with respect to such conditional use, a conditional use permit has been issued by the appropriate agency; or (2) any use permitted by right in the applicable zoning district, or any use permitted as a conditional use in the applicable zoning district, provided that, with respect to such conditional use, a conditional use permit has been issued by the appropriate agency, and residential dwelling units above the ground floor or behind the non-residential floor area. The floor space above the ground floor may be occupied by non-residential floor area in addition to residential dwelling units.
Office, Business & Professional:
Office A building principally occupied by professional, semi-professional, business, government/municipal, philanthropic institutions, or client-oriented services. Offices do not include retail or wholesale activities which require the receiving, stocking, storing, displaying, manufacturing, selling, or renting of merchandise or equipment, except where specifically permitted as an accessory use. Offices include the administrative, clerical or public contact offices of a government agency. All services are rendered within the principal building, and no outside areas are used to perform services. Examples of businesses include law firms, publishers, business services, sales, marketing, interior decorators, and studios for professional work or teaching.
Personal/Business services:
Bail bond services An office that engages in the sale or issuance of bail bonds or other financial transfers for the purpose of securing the release from jail of an accused defendant pending trial.
Business support services Includes blueprinting, printing, graphics, photostatting, copying, packaging, labelling, and similar services. "Printing" and "graphics" mean business engaged in the custom design and/or reproduction of written or graphic materials. Typical processes include computerized design and printing, photocopying, and facsimile sending and receiving.
Courier, messenger and delivery services Establishments primarily engaged in providing air, surface, or combined mode courier services, express delivery services of parcels, or local messenger and delivery services of small items, with local pick-up and delivery. Examples include air courier services, express delivery services; local delivery services for letters, documents, or small parcels; grocery delivery services (i.e., independent service from grocery store), or restaurant meals delivery services.
Day Labor Service Any building or premises that serves as a staging point or gathering place for persons who are seeking immediate employment in daily labor activities and who accept or are assigned employment in accordance with whatever employment is available on that particular day. For purposes of this definition, "day labor" means manual labor, such as construction cleanup, garbage pickup and removal, demolition, convention setup and takedown, landscaping, planting, and digging.
Funeral services Any place or premises devoted to or used in the care and preparation for burial of the body of a deceased person or maintained or held out to the public by advertising or otherwise as the office or place for the practice of funeral directing (source: RS 37:831). For example, funeral homes. (Note: cemeteries are classified under Public/Civic/Institutional - Assembly, below).
Crematorium The building or portion of a building that houses the chamber for cremation and the holding facility.
Linen/Uniform Supply Establishments that supply laundered items, such as table and bed linens; towels; diapers; and uniforms, gowns, or coats of the type used by doctors, nurses, barbers, beauticians, and waitresses.
Maintenance & repair services An establishment providing repair services for personal and household goods, such as household appliances, computers, radio, television, audio or video equipment, office machines, furniture and leather goods, and metal sharpening. This classification excludes building maintenance services and maintenance and repair of automobiles and other vehicles and equipment.
Personal services A business which provides a service to the general public. This includes, but is not limited to, barber shops, beauty shops/salons, laundries (including self-service), dry cleaners, tailors, seamstresses or dressmakers, taxidermist, pet groomers, photographers, wedding planning, wedding chapels, dating services, nail salons, massage establishments, tattoo parlors, and shoe shining or repair. This does not include social escort, bail bond, or other services listed separately.
Pick-up station (laundry and/or dry cleaning) Establishments that accept from the public clothes or other materials to be laundered or dry-cleaned, and for which a charge is made. The laundering or dry-cleaning work is done by a laundry or dry cleaning establishment that is not on the premises of the pickup station.
Retail sales:
Convenience store Establishments that retail a limited line of goods that generally include milk, bread, soda, alcohol and package liquor, snacks, but not fuel sales for vehicles.
Convenience store (with fuel sales) Establishments that retail a limited line of goods that generally include milk, bread, soda, alcohol and package liquor, snacks, and fuel sales or electric charging stations for personal/passenger vehicles and trucks, not to include those vehicles commonly known as "18-wheelers," "tractor-trailers," etc.
Nonstore retailers Establishments that retail merchandise through online, mass media, telephone, mail, or similar methods (infomercials, direct-response advertising, paper and electronic catalogs, door-to-door solicitation, in-home demonstration, selling from portable stalls, vending machines, and similar methods). Examples include mail-order houses, vending machine operators, home delivery sales, door-to-door sales, party plan sales, electronic shopping, and sales through portable stalls (e.g., street vendors).
Nursery/Horticulture/Farm Supply A place for the propagation or sale of small trees, shrubs, garden supplies, and plants. This classification includes the sale of seed and feed, landscape materials, soils, and rental of landscaping equipment.
Retail, limited (A) An establishment engaged in the sale and/or rental of goods such as apparel and accessories/uniforms, bicycles, cameras and photographic supplies, candy and confections, electronics, entertainment media (such as videos, compact discs, DVDs, or computer games), floral goods, gifts and novelties, hardware, health and personal care (such as pharmacies, cosmetics and optical or surgical supplies), hobby, home decor, jewelry, luggage and leather goods, music, news, media (newsstands), office supplies, pets, picture frames, shoes, sporting goods, stationary, tobacco, toys, used merchandise/antiques, arts and crafts, or similar items. This includes artist studios/galleries that both create and sell visual artwork. Each Retail, Limited (A) use on a Lot shall be limited to six thousand (6,000) gross square feet per lot.
Retail, limited (B) An establishment engaged in the sale and/or rental of all goods permitted in Retail, limited (A) with not limitation on gross square feet per lot, and, additionally, the sale and/or rental of goods such as beer or liquor (package), firearms, and furniture.
Retail, general An establishment engaged in sale and/or rental of all goods, permitted in Retail, limited (B), and, additionally, appliances, auto parts/tires, general merchandise, heating and plumbing equipment, and pawn shops. This use classification shall also include the sale and/or rental of goods at establishments such as department stores, warehouse clubs, variety stores, (see §89-151) superstores, swap meets and flea markets, auctions, and consumer goods rental/general rental centers.
Vehicles/Equipment:
Auto and truck repair An area used for major mechanical and body work, straightening of body parts, body repairs, battery rebuilding, painting, welding, short term (less than 72 hours) storage of automobiles not in operating condition, outdoor work on vehicles, or other work involving noise, glare, fumes, smoke, or other characteristics to an extent greater than normally found in auto service stations. Includes general maintenance activities including but not limited to replacement of filters, fluids, light bulbs, belts, fuses, and tire; emissions testing; and similar activities. Includes emissions testing services that test the emissions of automobiles or other vehicles to determine compliance with state or federal emissions requirements.
Automobile or vehicle dealership A facility for the sale or rental of automobiles, motorcycles, trucks, tractors, construction or agricultural equipment, motor homes and RV
Building material sales & services Retailing, wholesaling or rental of building supplies or construction equipment. Examples include lumberyards, hardware / home improvement sales and services, paint, tool and equipment sales or rental establishments.
Car Wash A building or part of a building with facilities for the simultaneous washing of automobiles. It does not include the additional activities permitted in "auto and truck repair".
Commercial and Industrial Machinery and Equipment Rental and Leasing Establishments primarily engaged in renting or leasing machinery and equipment for use in business or industrial operations. These establishments typically cater to a business clientele and do not generally operate a retail-like or store-front facility. Examples include the sale or leasing of farm equipment and supplies, heavy equipment, office furniture or equipment, machinery tools (construction equipment sales and service), or off-highway transportation equipment.
Gasoline or diesel fuel sales An area used exclusively for retail sales of fuels, oils, and/or CNG for personal/passenger vehicles and trucks, not to include those vehicles commonly known as "18-wheelers," "tractor-trailers," etc. This use may have storage tanks and pumps, vehicle service and repair facilities conducted inside the building, electric charging stations or an accessory car wash.
Manufactured Home Dealers Establishments primarily engaged in retailing new and/or used manufactured homes (i.e., mobile homes), parts, and equipment.
Truck stop A structure or land intended to be used for the sale of fuel for trucks and usually incidental service or repair of trucks. This may include a group of facilities consisting of those uses and attendant eating, sleeping, or truck parking facilities. As used in this definition, the term "truck" includes any vehicle whose maximum gross weight is more than 10,000 pounds.
Public/Civic/Institutional
Day Care
Adult day care A licensed establishment operated and maintained to provide care or supervision during the day, such as social activities, minor health care assessments, meals, and recreation, for five or more persons 18 years of age or older. The facility is not used as a residence. The definition does not include halfway houses for recovering alcohol and drug abusers.
Child care facility, commercial A facility that is licensed as such by the State of Louisiana and provides non-medical care to children, normally for periods less than 24 hours. It serves more than six children and/or is operated by a person who is not a resident of the site.
Child care facility, residential A facility that is licensed as such by the State of Louisiana and provides for non-medical care to children, normally for periods less than 24 hours. It serves six children or less, and the operator is a resident of the site.
Assembly:
Cemetery/mausoleum/columbarium A burial ground, place of interment, or premise for the storage of deceased humans or pets.
Church or worship center A place of religious worship and instruction. Accessory uses requiring independent approval include (1) an associated private school, and (2) child care.
Exhibition, convention, or conference facility A facility with exhibition halls and/or conference rooms used for assemblies or meetings of individuals or representatives of a group sharing common interests, such as convention centers and banquet halls. This does not include clubs, lodges, community meeting facilities, or other meeting facilities of private or non-profit groups that are primarily used by group members.
Banquet, reception or event hall Any building(s) and its premises used for the exclusive purpose of hosting social functions, ceremonies, gatherings, parties or other events. (See §89-95-3)
Club or lodge (private) A non-profit association of persons which owns, rents, or leases a building, or portion thereof; the use of such premises being restricted to members and guests. This includes a fraternal organization.
Government/Non-Profit:
Armory A building or group of buildings used primarily for housing and training troops or for storing military property, supplies, or records.
Detention or penal institution A facility where persons are detained pending adjudication or confined under criminal sentences. Examples include community correctional facilities, correctional facilities or juvenile detention facilities.
Vehicle/equipment maintenance facility A facility providing maintenance and repair services for vehicles and equipment and areas for storage of equipment and supplies. This classification includes construction yards, equipment service centers, transit vehicle storage and servicing, and similar facilities.
Public Safety Facility A facility for public safety and emergency services, such as police, fire protection, police and fire training facilities, and ambulance and emergency services, administrative facilities for emergency medical care, and blood and organ banks. This includes accessory transportation services and vehicle maintenance.
Social assistance, welfare, and charitable services Establishments that provide social assistance services directly to clients such as children, elderly persons, disabled persons, homeless persons, or veterans. Social assistance may include food, medical relief, counseling or training. Examples include adoption agencies, youth centers (except recreational only), child guidance organizations, youth self-help organizations, foster care placement services, community action services agencies, marriage counseling services (except by offices of mental health practitioners), crisis intervention centers, multipurpose social services centers, family social services agencies, self-help organizations (except for disabled persons, the elderly, persons diagnosed with intellectual and/or, developmental disabilities), family welfare services, suicide crisis centers, hotline centers, telephone counseling services, community food services (includes collection, preparation, and delivery of food, clothing and blankets for needy persons).
Postal services Establishments that provide mail services, including delivering items (such as letters and small parcels that can be handled by one person without using special equipment. Sorting and transportation activities, where necessary, are generally mechanized.
Educational:
College/technical school A "college" is a post-secondary educational institution authorized to award associate, baccalaureate, or higher degrees, or a seminary. A "technical school" is a specialized institution of learning which offers secondary or post-secondary instruction in business, trade, vocational, or other technical subject matter.
School (public or private) An institution of learning which offers instruction in the several branches of learning required to be taught in the public schools of the state.
Personal instructional services The provision of instructional services such as tutoring and exam preparation, language, photography, fine arts, crafts, dance or music studios, exercise studios, art studios, driving schools, employment training, diet centers, and beauty schools. This includes incidental retail sales, or light assembly and offices relating to training or instruction.
Medical:
Hospital or sanitarium A "hospital" is a place devoted primarily to the maintenance and operation of facilities for the diagnosis, treatment, or care for at least 24 hours in any week of 3 or more non-related individuals suffering from illness, disease, injury, or deformity, except homes for the aged or nursing or convalescent homes. A "sanitarium" is an institution for the recuperation and treatment of victims of physical or mental disorders.
Medical office, clinic, or laboratory Examples include medical offices, laboratories, or facilities for medical, optical, orthotic, prosthetic, psychiatric, physiotherapy, surgical, or dental laboratory services, photographic, analytical, or testing services. A clinic is a building designed for or used by any combination of physicians, surgeons, dentists, psychiatrists, physiotherapists, or practitioners in related specialties, and who do not offer in-patient care.
Arts, Entertainment, & Recreation:
Adult business See Section 18-3 of the Code of Ordinances.
Civic Spaces A park, playground, natural area, or open space that is open to the general public or on a non-profit basis. Examples include tennis clubs, central squares, neighborhood parks, recreational facilities, picnic facilities, public recreation areas, and accessory food concessions.
Cultural facility An institution engaged primarily in the performing arts or in the display or preservation of objects of interest in the arts or sciences that are open to the public on a regular basis. Examples include performing arts centers for theater, dance and events, museums, historical sites, art galleries, artist/artisan studio or shop, libraries/reading rooms, zoos, aquariums and observatories.
Entertainment facility An establishment where the primary source of revenue is derived from live or recorded performances shown or played for the amusement of an audience. Examples include music clubs and dance halls.
Health/fitness club An establishment that offers exercise or weight control programs whether or not the business provides any other service. Examples include gymnasiums, martial arts schools, gymnastics schools, weight control establishments/reducing salons, health clubs, health spas, swimming pools, handball facilities, racquetball or tennis club facilities, tanning facilities, fitness facilities, and yoga or workout studios.
Recreational Facility, Indoor Buildings or structures principally devoted to recreational activities or nongambling games, leisure and recreation services to the public or to members. Examples include the following uses when they are conducted indoor: ice or roller skating rinks, bingo parlors, billiard parlors, bowling centers, pool rooms, miniature golf courses, amusement arcades, tennis clubs, swimming pools, non-commercial community centers, play courts, shooting facilities, batting cages, go-cart or dirt-bike courses, skateboard areas, and water slides or water parks.
Recreational Facility, Outdoor or Major Large, generally outdoor facilities, such as: outdoor roller or ice-skating rinks, sports stadiums and arenas; amusement and theme parks; racetracks; swimming or wave pools; entertainment complexes; amphitheaters; drive-in theaters; archery or shooting ranges; riding academies; miniature golf; golf courses, driving ranges, and country clubs; marinas; and similar facilities.
Theater A facility with fixed seats for the viewing of movies or live presentations of musicians or other performing artists.
Industrial / Production

Manufacturing & Employment:
Contractor The facilities for a specialized trade related to construction, electric, glass, painting and decorating, welding, water well drilling, sign making, or similar items. Includes storage yards (for equipment, materials, supplies and/or vehicles), roofing and sheet metal, elevator maintenance and service, and venetian blind and metal awning fabrication and cleaning.
Data Processing, Hosting, and Related Services (including data centers) Establishments that provide infrastructure for hosting or data processing services. These establishments may provide specialized hosting activities, such as web hosting, streaming services or application hosting; provide application service provisioning; or may provide general timeshare mainframe facilities to clients. Data processing establishments provide complete processing and specialized reports from data supplied by clients or provide automated data processing and data entry services.
Dirt pit, sand pit or similar excavation An excavation from which extracted dirt, clay, sand or gravel is or may be used at the same location or may be transported for use at a different location and which has one or more of the following characteristics: (1) Exceeds a total surface area of ten acres; or (2) The excavated area exceeds an average depth of 25 feet at any time after the commencement of excavation; or (3) The time needed for completion will exceed 180 days.
Industrial Services A business that provides cleaning, washing, or similar services to industrial, manufacturing, medical or business establishments. An example includes commercial launderer that launders and dry cleans clothing and other fabric articles in bulk quantities, such as cleaning services for hospitals, restaurants, hotels, and similar clients, or rug and dry-cleaning plants.
Media Production Establishments that produce, manufacture, arrange for the manufacture, or distribute motion pictures, videos, television programs, television commercials, and music and sound recordings. This includes specialized motion picture or video postproduction services, such as editing, film/tape transfers, titling, subtitling, credits, closed captioning, and computer-produced graphics, animation and special effects, and developing and processing motion picture film. Examples include motion picture film laboratories, stock footage film libraries, postproduction facilities, teleproduction services, and sound recording studios. It does not include graphics, editing, or similar work that occurs in an office (see Commercial / Mixed-Use - Office category, above).
Mining & quarrying The extraction of metallic and nonmetallic minerals, including sand and gravel pit operations.
Manufacturing, Light The manufacturing or processing of materials employing electrical or other unobjectionable motive power, utilizing hand labor, or other unobjectionable machinery or processes, and free from any objectionable odors, fumes, lint, vibration, or noise. An example is jewelry manufacturing.
Manufacturing, General Manufacturing of products, from extracted or raw materials, or recycled or secondary materials, or bulk storage and handling of those products and materials. These include apparel (including clothing, shoes, dress making), brooms, caskets, food/baking (including coffee roasting, creameries, ice cream, ice, frozen food, confectionery, and beverage), tobacco products, fasteners and buttons, gaskets, leather and allied products, medical equipment and supplies, mill work and similar woodwork, mattresses, musical instruments, novelties, office supplies, printing and print supplies, signs, sporting goods, textiles (including dyeing, laundry bags, canvas products, dry goods, hosiery, millinery), and toys. This includes similar establishments, and businesses of a similar and no more objectionable character. It also includes incidental finishing and storage. Goods or products manufactured or processed on site may be sold at retail or wholesale on or off the premises. This does not include any activity listed under Intensive Manufacturing.
Manufacturing, Intensive Manufacturing of paper, chemicals, plastics, rubber, cosmetics, drugs, nonmetallic mineral products (such as concrete and concrete products, glass), fabricated metal products (including electroplating, hardware), primary metals, acetylene, cement, lime, gypsum or plaster-of-Paris, chlorine, corrosive acid or fertilizer, insecticides, disinfectants, poisons, explosives, paint, lacquer, varnish, petroleum products, coal products, plastic and synthetic resins, electrical equipment, appliances, batteries, machinery, and transportation equipment. This group also includes smelting, animal slaughtering and oil refining.
Oil and gas company (drilling and exploration) Establishments that operate and/or develop oil and gas field properties. Activities may include exploration for crude petroleum and natural gas; drilling, completing, and equipping wells; operating separators, emulsion breakers, desilting equipment, and field gathering lines for crude petroleum and natural gas; and all other activities in the preparation of oil and gas up to the point of shipment from the producing property.
Research and development The investigation into the natural, physical, or social sciences, and that includes product development or testing. This does not include research, engineering or similar activities that occur indoors in an office environment, which is classified separately under Commercial / Mixed-Use - Office, above.
Oil and mining support activities Establishments that support oil extraction or minerals mining, including exploration, sampling, excavating, drilling, surveying, and similar activities. This includes oil field service companies and oil field supplies and machinery.
Stone cutting Establishments that cut, shape, and finish marble, granite, slate, and other stone for building and miscellaneous uses, or that buy or sell partly finished monuments and tombstones.
Warehousing, Storage & Distribution:
Building and landscaping materials supplier A business that sells building materials or landscaping where the majority of sales are wholesale transactions to other firms, not retail sales.
Building maintenance services An establishment providing carpet cleaning, carpentry, roofing, exterminator, glazing, janitorial services, electrical repair, plumbing, heating and air conditioning (sales and service), upholstery, painting and paper hanging, sign painting, or rug cleaning.
Freight depot (railway and truck) Distribution facilities upon which storage and warehousing of cargo is incidental to the primary function of freight shipment, and not to include any display of goods for either retail sale or wholesale. Includes both railway and truck freight transfers.
Fuel Distribution or Recycling A facility dedicated to: (1) wholesale or commercial fuel storage and distribution, including petroleum, biodiesel, propane, butane, natural gas, or other similar fuels, to vehicles, machinery, or heavy equipment, or (2) the collection, storage, and processing of waste oil product for conversion into useable fuel products such as biodiesel, and may include storage and sales of resulting useable fuels. This does not include auto service stations.
Machinery and heavy equipment sales and service The retail sales and accessory repair of construction, agriculture, excavation, and similar machinery and equipment, including tractor-trailers.
Self-service storage facility A building or group of buildings in a controlled access compound that contains varying sizes of individual, compartmentalized, controlled access stalls or lockers for the storage of customers' residential and/or commercial goods.
Oil & gas storage A tank farm or outdoor facility to store oil and gas. Includes bulk plant (petroleum).
Outdoor storage Materials, goods, vehicles, or equipment kept or placed outside an enclosed structure for twenty-four (24) hours or more. Includes pipe storage and sand and gravel storage yards.
Vehicle towing and storage facility Establishments primarily engaged in towing light or heavy motor vehicles, along with incidental services such as storage and emergency road repair services.
Wholesale distribution, warehousing and storage The storage of goods, and the sale of goods to other firms for resale, including activities involving significant storage and movement of products or equipment. Examples include warehouse or produce/fruit/food storage and wholesale structures, carting, express crating, hauling, cold storage, feed locker plants, dry goods wholesale, hardware storage, and wholesale, paper supplies, shoes, sporting goods, professional and commercial equipment and supplies merchant wholesalers (such as restaurant supply sales), and otherwise preparing goods for transportation. This may include fulfillment centers that combine storage with call centers.
Infrastructure
Transportation/Parking:
Airport Any area of land or water which is used or intended for the landing and taking off of aircraft, and any appurtenant areas which are used or intended for use for airport buildings or other airport facilities or rights-of-way, including all necessary runways, taxiways, aircraft storage and tie-down areas, hangers, public terminal buildings and parking, helicopter pads, support activities such as airport operations and air traffic control, and other necessary buildings and open spaces. Includes dusting services.
Ground passenger transportation (e.g. taxi, charter bus) Establishments that provide passenger transportation by bus, charter bus, automobile, limousine, van, or shuttle. Some services (such as taxi) are not operated over regular routes and on regular schedules. Examples include charter bus, special needs transportation, taxicab owner/operators, taxicab fleet operators, or taxicab organizations. This does not apply to publicly operated bus or mass transit systems. Includes fleet services that store, maintain, repair, fuel, and service two or more vehicles owned by a single commercial or public entity.
Heliport/miscellaneous air transportation Facilities intended solely for takeoff and landing of helicopters, or for miscellaneous transportation vehicles for scenic purposes such as balloons.
Parking facility A parking lot or a parking garage offering parking to the public and is the principal use of the premises. "Parking lot" is an off-street, ground-level, and open area for the temporary placement of operable motor vehicles. A "parking garage" is a multi-level structure for the temporary placement of operable motor vehicles. Automobile fuels and oils are not sold and motor vehicles are not equipped, repaired, hired, or sold in a parking facility
Railroad facilities A facility for freight pick-up or distribution by rail. This may include specialized services for railroad transportation including servicing, routine repairing (except factory conversion, overhaul or rebuilding of rolling stock), and maintaining rail cars; loading and unloading rail cars; and independent terminals.
Railroad right-of-way A strip of land with tracks and auxiliary facilities for track operation, but not including freight depots or stations, loading platforms, train shed, warehouses, car or locomotive shops, or car yards.
Passenger depot Facilities for passenger transportation operations, and holding facilities, which includes rail stations, bus terminals, urban and regional transit stations and scenic and sightseeing facilities, but does not include airports and heliports. This includes accessory parking facilities. This does not include transit shelters, which are permitted in all districts.
Transit shelter A roofed structure with at least three (3) walls located on or adjacent to the right-of-way of a street, and which is designed and used primarily for the protection and convenience of bus passengers.
Utilities:
Utility, Major A building or other structure for water supply (including water distillation) or wastewater treatment or the production of electricity, steam, air conditioning, hot water or chilled water for consumption by the general public.
Utility, Minor All lines and facilities related to the provision, distribution, collection, transmission, or disposal of water, storm water, communications, electricity, transportation, gas, steam, and similar public services, and may include storage for vehicles and equipment necessary to provide those services. This includes facilities that are necessary to support legally established uses and involve only minor structures such as electrical distribution lines, water or sewer pumping stations, water storage facilities, telephone exchanges, switch boxes, transformer boxes, cap banks, and underground water and sewer lines. This does not include "communications facility" or "wireless communication tower" as defined below, which refer to the point of transmission rather than distribution systems such as cable networks.
Communications facilities:
Communications facility Broadcasting and other communication services accomplished through electronic mechanisms. Examples include radio, television or recording studios, switching centers and cable transmitting stations.
Wireless communication tower or antenna Antenna support structures for mobile and land based telecommunication facilities, such as whip antennas, panel antennas, microwave dishes and receive-only satellite dishes, cell enhancers and related equipment for wireless transmission from a sender to one or more receivers, such as for mobile cellular telephones, mobile radio systems facilities and commercial radio service. This facility includes a monopole tower, a steel lattice tower and any self-supporting communication tower. This use may include an unmanned equipment shelter.
Weather or environmental monitoring station A facility with instruments and equipment that measures atmospheric conditions (typically to provide current weather information or a basis for weather forecasts), air or water quality, soil conditions, or similar variables.
Waste-related:
Hazardous waste disposal A facility where hazardous or infectious waste material is incinerated, landfilled or put to other final disposition.
Hazardous waste transfer A facility where hazardous or infectious waste is received and processed for transportation to another place for recycling, re-use, incineration or final disposal.
Junk yards A facility or area for storing, keeping, abandoning, selling, dismantling, shredding, compressing, demolishing, or salvaging scrap, discarded material or equipment. This includes metal, paper, rags, tires, bottles, motor vehicles or motor vehicle parts, machinery, structural steel, equipment and appliances. Examples of "junkyard" include: (1) Facilities or sites for separating trash and debris from recoverable or recyclable resources, such as paper products, glass, metal cans and other products; and (2) Facilities or sites where damaged and/or wrecked and/or dismantled and/or partially dismantled motor vehicles are stored for periods of longer than 90 days; and (3) Facilities and sites where motor vehicle parts may be removed and stored, sold or salvaged.
Recycling plant A facility in which recyclable material only is collected, processed, separated, and/or baled in preparation for shipment to others who will use those materials to manufacture new products. Recyclable material includes metals, glass, plastics, wood, paper, and other similar materials that may be used in the manufacture of new products. Recycling plants shall not collect vehicles for salvage, hazardous materials, compost, or rubbish.
Remediation Services Establishments primarily engaged in one or more of the following: (1) remediation and cleanup of contaminated buildings, mine sites, soil, or ground water; (2) integrated mine reclamation activities, including demolition, soil remediation, waste water treatment, hazardous material removal, contouring land, and revegetation; and (3) asbestos, lead paint, and other toxic material abatement.
Solid waste A fixed facility where non-hazardous wastes are taken from collection vehicles, temporarily stored, and ultimately relocated to a permanent disposal site. It does not include an incineration facility. Examples include transfer stations (prohibited in Lafayette Parish under Ordinance No. O-263-2011), disposal areas, and waste management services such as pumping (i.e., cleaning) cesspools, portable toilets, or septic tanks; cesspool cleaning services; sewer cleaning and rodding services; portable toilet renting and/or servicing; and sewer or storm basin cleanout services.
Agriculture
Farming Any parcel of land which is used for gain in the raising of agricultural products, livestock, poultry, or dairy products. It includes necessary farm structures within the prescribed limits and the storage of equipment used.
Poultry and egg production Establishments engaged in breeding, hatching, and raising poultry for meat or egg production. Examples include hatcheries and poultry storage and dressing.
Community garden A site operated and maintained by an individual or group to cultivate trees, herbs, fruits, vegetables, flowers, or other ornamental foliage for the following uses: personal use, consumption, donation or off site sale of items grown on the site.
Crop Agriculture An area of land managed and maintained by an individual or group of individuals to grow and harvest food crops and horticultural products (including flowers, trees, and bees and apiary products) for off-site sale in locations where retail sales are an allowed use. Crop agriculture may be a principal or accessory use.
Community Supported Agriculture An area of land managed and maintained by an individual or group of individuals to grow and harvest food and/or horticultural products for shareholder consumption or for sale or donation.
Accessory
Accessory use (generally) A use customarily incidental and subordinate to the principal use or building and located on the same lot with the principal use or building.
Accessory commercial uses Commercial uses that are accessory to multi-family residential buildings.
Accessory farm use Buildings, corrals, coops, stables or structures used in conjunction with farming or ranching.
Accessory schools An educational use, such as a kindergarten, that is accessory to a multi-family residential building.
Accessory retail and personal service, office, or recreational use A retail, office, or recreational use that is subordinate to and incidental to the primary use, that primarily serves the employees of the primary use.
Caretaker or guard A home, apartment, manufactured home, or other unit built to residential occupancy standards for use as the residence of the caretaker or guard.
Construction yard A temporary area used for the storage of construction materials, supplies, equipment, tools, stock piling and recycling of useable construction materials and other items as permitted including temporary storage containers, construction trailers and temporary office trailers.
Home occupation A commercial use conducted within a dwelling unit by its resident(s), which is clearly secondary to the use of the dwelling for living purposes, and which does not change the residential character of the dwelling unit or its surroundings.
Model home complex/temporary real estate sales office A "model home complex" is a group of at least two (2) dwelling units that are temporarily used for display purposes as an example of dwelling units available or to be available for sale or rental in a particular subdivision or other residential development approved by the City. Model homes may also incorporate sales or rental offices for dwellings within the development. A "temporary real estate sales office" is an office or a model home used to sell homes or buildings while the property is under development. The sales may occur in a permanent building, or in a trailer or manufactured home.
Parking garage, private A space intended for or used by the private automobiles of households, businesses, government or non-business entities resident on the lot.
Pharmacy, accessory A pharmacy or pharmacy supply facility accessory to a medical office, clinic, or laboratory that sells medical items where the total square footage does not exceed 10% of the building square footage. The accessory pharmacy is contained within the principal medical building.
Recreational facility, accessory A recreational facility for the exclusive use of members and their guests, or solely for the use of employees of a permitted business use. This may include swimming pools, tennis courts, exercise facilities, and similar indoor activities. It does not include golf courses, which are classified separately.
Sign See §89-90 ("Signs")
Storage Containers or bins that are used for on-site temporary storage generally for the purposes of moving.
Miscellaneous
Temporary Uses See §89-92 ("Temporary Uses")

 

(Ord. No. JO-024-2021, § 3(Exh. C), 7-20-21; Ord. No. JO-021-2022, § 2(Exh. B), 3-22-22; Ord. No. JO-024-2022, §§ 4,5, 4-19-22; Ord. No. JO-077-2022, § 3(Exh. C), 9-20-22; Ord. No. JO-004-2023, § 3(Exh. C), 2-1-23; Ord. No. CO-094-2023, §§ 3, 4, 10-3-23; Ord. No. JO-067-2024, 11-18-24)

Sec. 89-22. - Overlay districts.

A set of regulations which apply to a specific geographic area in addition to the underlying zoning districts and existing zoning and development regulations is commonly known as an "overlay district."

The Louisiana Avenue Zoning and Development Overlay District, The Louisiana Avenue Interstate 10 Zoning and Development Overlay District, and the University Avenue Zoning and Development Overlay District, shall remain in full force and effect. The standards for governing zoning and development within the overlay districts are set forth in Appendix A of this chapter.

(Ord. No. JO-021-2022, § 2(Exh. B), 3-22-22)

Sec. 89-23. - Historic districts.

The description of historic districts and any specific regulations related thereto are set forth in Appendix B of this chapter. These specific regulations are in addition to any applicable general historic preservation provisions in this chapter, as well as the underlying zoning districts and existing zoning and development regulations applicable thereto.

(Ord. No. JO-057-2023, § 2, 9-19-23)