PLANNING COMMUNITY AND REDEVELOPMENT OVERLAY DISTRICT BOUNDARIES AND LEGAL DESCRIPTIONS1
Map 3
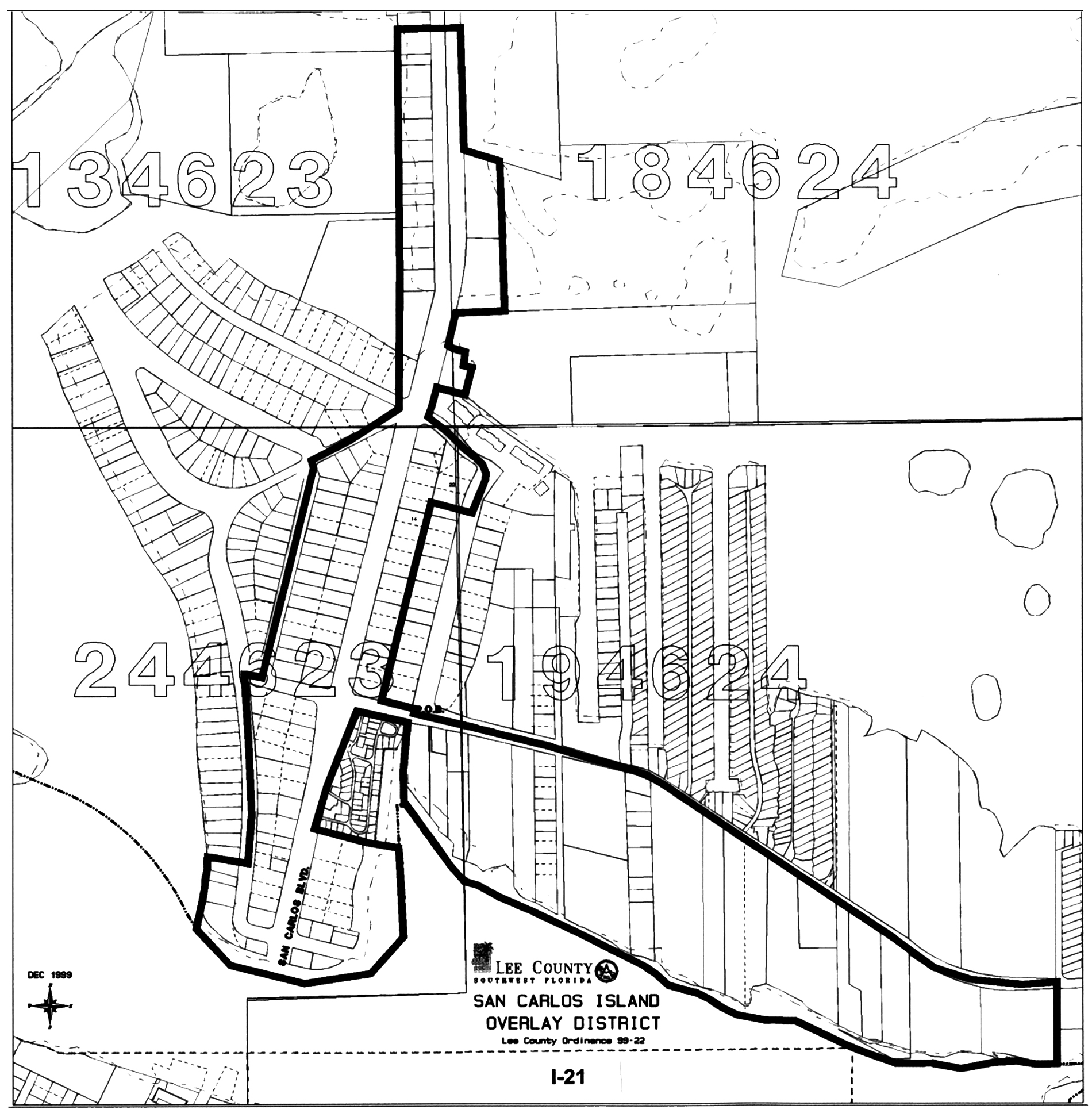
San Carlos Island Overlay District
(Ord. No. 05-29, § 4, 12-13-2005)
Map 4
San Carlos Island Zoning Overlay
(Ord. No. 05-29, § 4, 12-13-2005)
Map 5
Greater Pine Island Community Plan
(Ord. No. 07-19, § 7, 5-29-2007)
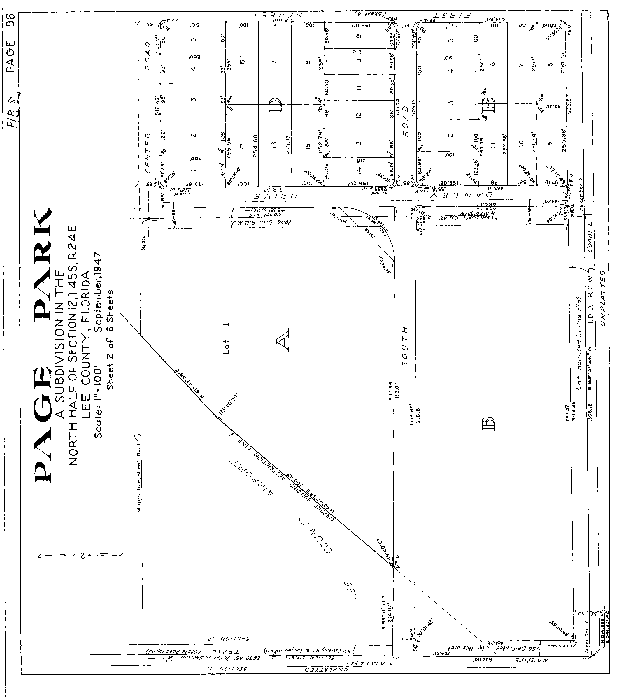
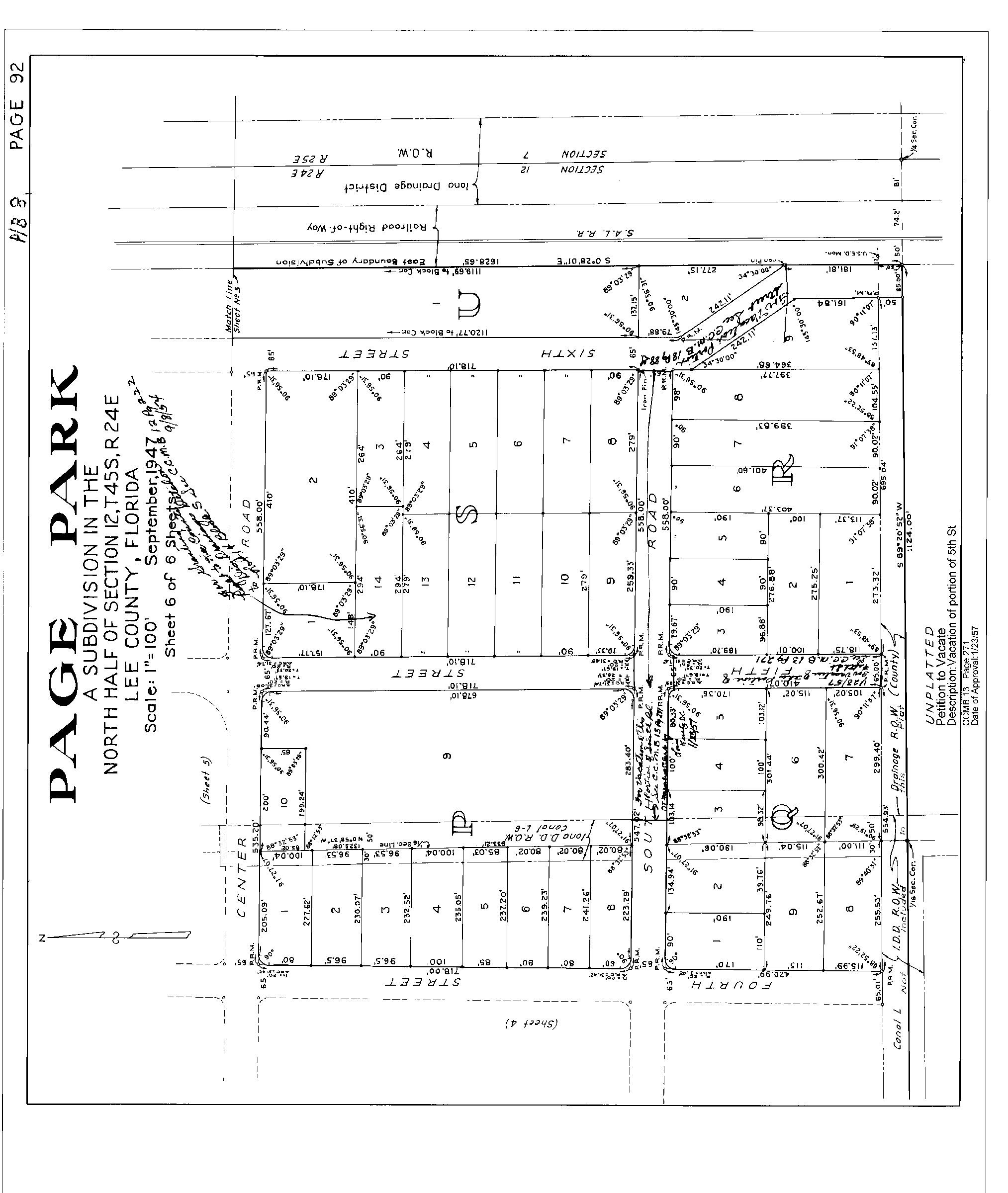
Legal Description
Block C thru U, Page Park, a subdivision, located in section 12, Township 45 South, Range 24 East, according to the plat thereof on file and recorded in Plat Book 8, Pages 92 through 97, inclusive, of the Public Records of Lee County, Florida.
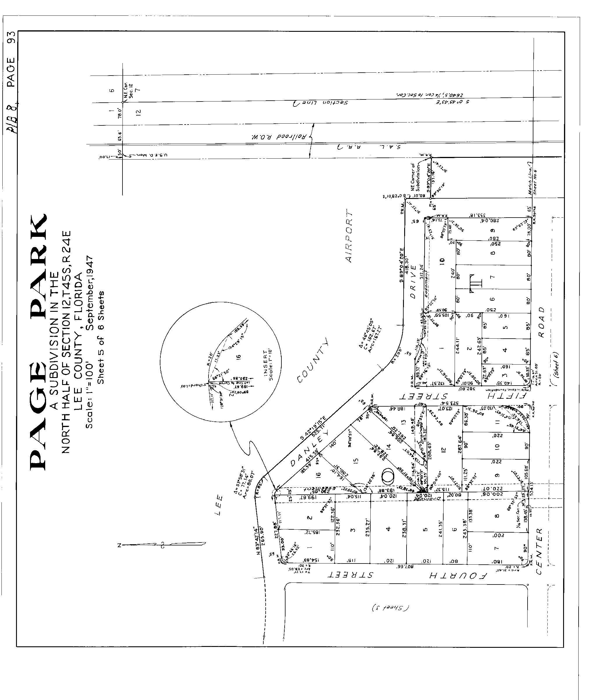
Map 6
Page Park Community Overlay Map
(Ord. No. 10-32, § 2, 9-14-2010)
Map 7
North Fort Myers Planning Community,
Neighborhood Center #1
(Ord. No. 12-01, § 7, 1-10-2012)
Map 8
North Fort Myers Planning Community,
Neighborhood Center #2
(Ord. No. 12-01, § 7, 1-10-2012)
Map 9
North Fort Myers Planning Community,
Neighborhood Center #3
(Ord. No. 12-01, § 7, 1-10-2012)
Map 10
North Fort Myers Planning Community,
Neighborhood Center #4
(Ord. No. 12-01, § 7, 1-10-2012)
Map 11
North Fort Myers Planning Community,
Neighborhood Center #5
(Ord. No. 12-01, § 7, 1-10-2012)
Map 12
North Fort Myers Planning Community,
Neighborhood Center #6
(Ord. No. 12-01, § 7, 1-10-2012)
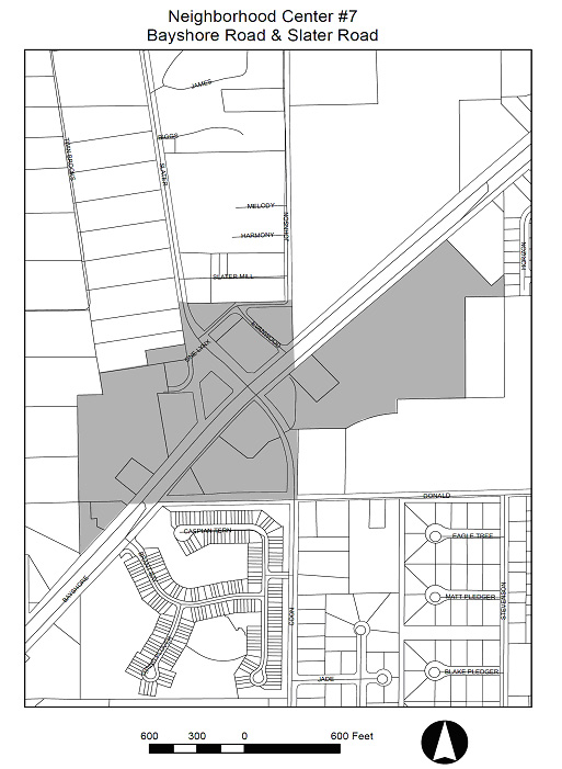
Map 13
North Fort Myers Planning Community,
Neighborhood Center #7
(Ord. No. 12-01, § 7, 1-10-2012)
Map 14
Caloosahatchee Shores Planning Community
(Ord. No. 12-01, § 7, 1-10-2012)
Map 15
Caloosahatchee Shores Planning Community:
State Route 80 Corridor Overlay
(Ord. No. 12-01, § 7, 1-10-2012)
Map 16
Matlacha Residential Overlay
(Ord. No. 12-14, § 5, 6-12-2012)
Map 17
Upper Captiva LDC Boundary
(Ord. No. 14-13, § 8, 6-17-2014)
Map 18 - South Seas Island Resort
(Ord. No. 23-22, § 3, 9-5-2023)
SAN CARLOS ISLAND OVERLAY DISTRICT LEGAL DESCRIPTION
PORTIONS OF SECTIONS 13 AND 24, TOWNSHIP 46 SOUTH, RANGE 23 EAST, AND PORTIONS OF SECTIONS 18 AND 19, TOWNSHIP 46 SOUTH, RANGE 24 EAST, LEE COUNTY, FLORIDA BEING MORE PARTICULARLY DESCRIBED AS FOLLOWS: BEGIN AT THE POINT OF INTERSECTION OF THE CENTERLINE OF BUTTONWOOD STREET WITH THE CENTERLINE OF MAIN STREET, THENCE SOUTHEASTERLY AND EASTERLY ALONG THE CENTERLINE OF MAIN STREET TO AN INTERSECTION WITH THE EAST LINE OF GOVERNMENT LOT 3 OF SECTION 19, TOWNSHIP 46 SOUTH, RANGE 24 EAST; THENCE SOUTHERLY ALONG SAID EAST LINE TO AN INTERSECTION WITH THE NORTHERLY CITY LIMIT LINE OF THE CITY OF FORT MYERS BEACH; THENCE WESTERLY, NORTHWESTERLY AND WESTERLY ALONG SAID NORTHERLY CITY LIMIT LINE TO AN INTERSECTION WITH THE SOUTHERLY EXTENSION OF THE WESTERLY LINE OF THAT CERTAIN PARCEL OF LAND DESCRIBED IN OFFICIAL RECORD BOOK 1820 AT PAGE 4100 OF THE PUBLIC RECORDS OF LEE COUNTY, FLORIDA; THENCE NORTHERLY ALONG SAID WESTERLY LINE TO AN INTERSECTION WITH THE SOUTHERLY RIGHT-OF-WAY LINE OF MAIN STREET; THENCE WESTERLY ALONG SAID SOUTHERLY RIGHT-OF-WAY LINE TO AN INTERSECTION WITH THE EASTERLY RIGHT-OF WAY LINE OF SAN CARLOS BOULEVARD; THENCE SOUTHWESTERLY ALONG SAID EASTERLY RIGHT-OF-WAY LINE TO AN INTERSECTION WITH THE NORTHERLY LINE OF LOT 6, BLOCK 8 OF SAN CARLOS ON THE GULF, A SUBDIVISION RECORDED IN PLAT BOOK 6 AT PAGE 6 OF THE AFOREMENTIONED PUBLIC RECORDS; THENCE SOUTHEASTERLY ALONG SAID NORTHERLY LINE, AND ALONG THE NORTHERLY LINE OF LOT 25 OF SAID BLOCK 8, AND THE SOUTHEASTERLY EXTENSION THEREOF TO AN INTERSECTION WITH THE AFOREMENTIONED NORTHERLY CITY LIMIT LINE; THENCE SOUTHERLY, SOUTHWESTERLY, WESTERLY AND NORTHWESTERLY ALONG SAID NORTHERLY CITY LIMIT LINE TO AN INTERSECTION WITH THE NORTHWESTERLY EXTENSION OF THE NORTHERLY LINE OF LOT 2, BLOCK I OF THE AFOREMENTIONED SAN CARLOS ON THE GULF SUBDIVISION; THENCE SOUTHEASTERLY ALONG SAID NORTHERLY LINE TO AN INTERSECTION WITH THE CENTERLINE OF SAN CARLOS DRIVE; THENCE NORTHERLY ALONG THE CENTERLINE OF SAN CARLOS DRIVE TO AN INTERSECTION WITH THE CENTERLINE OF MAIN STREET; THENCE SOUTHEASTERLY ALONG THE CENTERLINE OF MAIN STREET TO AN INTERSECTION WITH THE CENTERLINE OF SOUTH STREET; THENCE NORTHEASTERLY ALONG THE CENTERLINE OF SOUTH STREET TO AN INTERSECTION WITH THE CENTERLINE OF SAN CARLOS COURT; THENCE NORTHEASTERLY ALONG THE CENTERLINE OF SAN CARLOS COURT TO AN INTERSECTION WITH THE WESTERLY RIGHT-OF-WAY LINE OF SAN CARLOS BOULEVARD; THENCE NORTHEASTERLY ALONG SAID WESTERLY RIGHT-OF-WAY LINE TO AN INTERSECTION WITH A PORTION OF THE NORTHERLY BOUNDARY OF THAT CERTAIN PARCEL OF LAND DESCRIBED IN OFFICIAL RECORD BOOK 2781 AT PAGE 1581 OF SAID PUBLIC RECORDS; THENCE WESTERLY ALONG SAID NORTHERLY BOUNDARY TO AN INTERSECTION WITH THE SOUTHERLY EXTENSION OF THE WEST LINE OF THAT CERTAIN PARCEL OF LAND DESCRIBED IN OFFICIAL RECORD BOOK 1736 AT PAGE 652 OF SAID PUBLIC RECORDS; THENCE NORTHERLY ALONG SAID WEST LINE TO AN INTERSECTION WITH THE NORTH LINE OF THAT CERTAIN PARCEL OF LAND DESCRIBED IN OFFICIAL RECORD BOOK 2166 AT PAGE 3633 OF SAID PUBLIC RECORDS; THENCE EASTERLY ALONG SAID NORTH LINE AND THE EASTERLY EXTENSION THEREOF TO AN INTERSECTION WITH THE EASTERLY RIGHT-OF-WAY LINE OF SAN CARLOS BOULEVARD; THENCE SOUTHERLY ALONG SAID EASTERLY RIGHT-OF-WAY LINE TO AN INTERSECTION WITH THE NORTH LINE OF THAT CERTAIN PARCEL OF LAND DESCRIBED IN OFFICIAL RECORD BOOK 2905 AT PAGE 365 OF SAID PUBLIC RECORDS; THENCE SOUTHEASTERLY ALONG SAID NORTH LINE TO AN INTERSECTION WITH THE NORTHERLY EXTENSION OF THE EAST LINE OF THAT CERTAIN PARCEL OF LAND DESCRIBED IN OFFICIAL RECORD BOOK 2855 AT PAGE 1363 OF SAID PUBLIC RECORDS; THENCE SOUTHERLY ALONG SAID EAST LINE TO AN INTERSECTION WITH THE SOUTH LINE OF SAID PARCEL; THENCE WESTERLY ALONG SAID SOUTH LINE TO AN INTERSECTION WITH THE AFOREMENTIONED EASTERLY RIGHT-OF-WAY LINE OF SAN CARLOS BOULEVARD; THENCE SOUTHWESTERLY ALONG SAID EASTERLY RIGHT-OF-WAY LINE TO AN INTERSECTION WITH THE NORTHERLY LINE OF THAT CERTAIN PARCEL OF LAND DESCRIBED IN OFFICIAL RECORD BOOK 2152 AT PAGE 4275 OF SAID PUBLIC RECORDS; THENCE SOUTHEASTERLY ALONG SAID NORTHERLY LINE TO AN INTERSECTION WITH THE EASTERLY LINE OF SAID PARCEL; THENCE SOUTHWESTERLY, THEN SOUTHEASTERLY AND THEN SOUTHWESTERLY ALONG SAID EASTERLY LINE TO AN INTERSECTION WITH THE SOUTHERLY LINE OF SAID PARCEL; THENCE NORTHWESTERLY ALONG SAID SOUTHERLY LINE TO AN INTERSECTION WITH THE AFOREMENTIONED EASTERLY RIGHT-OF-WAY LINE OF SAN CARLOS BOULEVARD; THENCE SOUTHWESTERLY ALONG SAID EASTERLY RIGHT-OF-WAY LINE TO AN INTERSECTION WITH THE CENTERLINE OF BUTTONWOOD STREET; THENCE SOUTHEASTERLY AND THEN SOUTHWESTERLY ALONG THE CENTERLINE OF BUTTONWOOD STREET TO AN INTERSECTION WITH THE SOUTHEASTERLY EXTENSION OF THE NORTHERLY LINE OF LOT 24, BLOCK 9, OF THE AFOREMENTIONED SAN CARLOS ON THE GULF SUBDIVISION; THENCE NORTHWESTERLY ALONG SAID NORTHERLY LINE TO AN INTERSECTION WITH THE WESTERLY LINE OF SAID LOT 24; THENCE SOUTHWESTERLY ALONG THE WESTERLY LINE OF LOTS 24 THROUGH 38 OF SAID BLOCK 9 TO AN INTERSECTION WITH THE SOUTHERLY LINE OF SAID LOT 38; THENCE SOUTHEASTERLY ALONG SAID SOUTHERLY LINE TO AN INTERSECTION WITH THE CENTERLINE OF BUTTONWOOD STREET; THENCE SOUTHWESTERLY ALONG SAID CENTERLINE TO AN INTERSECTION WITH THE CENTERLINE OF MAIN STREET AND THE POINT OF BEGINNING.
(Ord. No. 05-29, § 4, 12-13-2005)
Editor's note— Printed herein is Appendix I to the Land Development Code. Ordinance No. 05-29, § 4, adopted December 13, 2005, repealed Appendix I in its entirety and enacted a new Appendix I to read as herein set out. The former Appendix I derived from Ordinance No. 99-22, § 4, adopted December 14, 1999; Ordinance No. 98-28, § 6, adopted December 8, 1998. Ordinance No. 13-10, § 11, adopted May 28, 2013, changed the title of Appendix I from "Redevelopment Overlay District Boundaries" to "Planning Community and Redevelopment Overlay District Boundaries and Legal Descriptions." Subsequently, Ordinance No. 16-19, § 11, adopted November 15, 2016, deleted Maps 1 and 2, relating to the Estero Planning Community, which derived from Ordinance No. 05-29, § 4, adopted December 13, 2005. Amendments are indicated by parenthetical history notes following amended provisions. The absence of a history note indicates that the provision remains unchanged from the original. Obvious misspellings and punctuation errors have been corrected without notation. For stylistic purposes, a uniform system of headings, catchlines and expression of numbers in text has been used. Additions made for clarity are indicated by brackets.
PLANNING COMMUNITY AND REDEVELOPMENT OVERLAY DISTRICT BOUNDARIES AND LEGAL DESCRIPTIONS1
Map 3
San Carlos Island Overlay District
(Ord. No. 05-29, § 4, 12-13-2005)
Map 4
San Carlos Island Zoning Overlay
(Ord. No. 05-29, § 4, 12-13-2005)
Map 5
Greater Pine Island Community Plan
(Ord. No. 07-19, § 7, 5-29-2007)
Legal Description
Block C thru U, Page Park, a subdivision, located in section 12, Township 45 South, Range 24 East, according to the plat thereof on file and recorded in Plat Book 8, Pages 92 through 97, inclusive, of the Public Records of Lee County, Florida.
Map 6
Page Park Community Overlay Map
(Ord. No. 10-32, § 2, 9-14-2010)
Map 7
North Fort Myers Planning Community,
Neighborhood Center #1
(Ord. No. 12-01, § 7, 1-10-2012)
Map 8
North Fort Myers Planning Community,
Neighborhood Center #2
(Ord. No. 12-01, § 7, 1-10-2012)
Map 9
North Fort Myers Planning Community,
Neighborhood Center #3
(Ord. No. 12-01, § 7, 1-10-2012)
Map 10
North Fort Myers Planning Community,
Neighborhood Center #4
(Ord. No. 12-01, § 7, 1-10-2012)
Map 11
North Fort Myers Planning Community,
Neighborhood Center #5
(Ord. No. 12-01, § 7, 1-10-2012)
Map 12
North Fort Myers Planning Community,
Neighborhood Center #6
(Ord. No. 12-01, § 7, 1-10-2012)
Map 13
North Fort Myers Planning Community,
Neighborhood Center #7
(Ord. No. 12-01, § 7, 1-10-2012)
Map 14
Caloosahatchee Shores Planning Community
(Ord. No. 12-01, § 7, 1-10-2012)
Map 15
Caloosahatchee Shores Planning Community:
State Route 80 Corridor Overlay
(Ord. No. 12-01, § 7, 1-10-2012)
Map 16
Matlacha Residential Overlay
(Ord. No. 12-14, § 5, 6-12-2012)
Map 17
Upper Captiva LDC Boundary
(Ord. No. 14-13, § 8, 6-17-2014)
Map 18 - South Seas Island Resort
(Ord. No. 23-22, § 3, 9-5-2023)
SAN CARLOS ISLAND OVERLAY DISTRICT LEGAL DESCRIPTION
PORTIONS OF SECTIONS 13 AND 24, TOWNSHIP 46 SOUTH, RANGE 23 EAST, AND PORTIONS OF SECTIONS 18 AND 19, TOWNSHIP 46 SOUTH, RANGE 24 EAST, LEE COUNTY, FLORIDA BEING MORE PARTICULARLY DESCRIBED AS FOLLOWS: BEGIN AT THE POINT OF INTERSECTION OF THE CENTERLINE OF BUTTONWOOD STREET WITH THE CENTERLINE OF MAIN STREET, THENCE SOUTHEASTERLY AND EASTERLY ALONG THE CENTERLINE OF MAIN STREET TO AN INTERSECTION WITH THE EAST LINE OF GOVERNMENT LOT 3 OF SECTION 19, TOWNSHIP 46 SOUTH, RANGE 24 EAST; THENCE SOUTHERLY ALONG SAID EAST LINE TO AN INTERSECTION WITH THE NORTHERLY CITY LIMIT LINE OF THE CITY OF FORT MYERS BEACH; THENCE WESTERLY, NORTHWESTERLY AND WESTERLY ALONG SAID NORTHERLY CITY LIMIT LINE TO AN INTERSECTION WITH THE SOUTHERLY EXTENSION OF THE WESTERLY LINE OF THAT CERTAIN PARCEL OF LAND DESCRIBED IN OFFICIAL RECORD BOOK 1820 AT PAGE 4100 OF THE PUBLIC RECORDS OF LEE COUNTY, FLORIDA; THENCE NORTHERLY ALONG SAID WESTERLY LINE TO AN INTERSECTION WITH THE SOUTHERLY RIGHT-OF-WAY LINE OF MAIN STREET; THENCE WESTERLY ALONG SAID SOUTHERLY RIGHT-OF-WAY LINE TO AN INTERSECTION WITH THE EASTERLY RIGHT-OF WAY LINE OF SAN CARLOS BOULEVARD; THENCE SOUTHWESTERLY ALONG SAID EASTERLY RIGHT-OF-WAY LINE TO AN INTERSECTION WITH THE NORTHERLY LINE OF LOT 6, BLOCK 8 OF SAN CARLOS ON THE GULF, A SUBDIVISION RECORDED IN PLAT BOOK 6 AT PAGE 6 OF THE AFOREMENTIONED PUBLIC RECORDS; THENCE SOUTHEASTERLY ALONG SAID NORTHERLY LINE, AND ALONG THE NORTHERLY LINE OF LOT 25 OF SAID BLOCK 8, AND THE SOUTHEASTERLY EXTENSION THEREOF TO AN INTERSECTION WITH THE AFOREMENTIONED NORTHERLY CITY LIMIT LINE; THENCE SOUTHERLY, SOUTHWESTERLY, WESTERLY AND NORTHWESTERLY ALONG SAID NORTHERLY CITY LIMIT LINE TO AN INTERSECTION WITH THE NORTHWESTERLY EXTENSION OF THE NORTHERLY LINE OF LOT 2, BLOCK I OF THE AFOREMENTIONED SAN CARLOS ON THE GULF SUBDIVISION; THENCE SOUTHEASTERLY ALONG SAID NORTHERLY LINE TO AN INTERSECTION WITH THE CENTERLINE OF SAN CARLOS DRIVE; THENCE NORTHERLY ALONG THE CENTERLINE OF SAN CARLOS DRIVE TO AN INTERSECTION WITH THE CENTERLINE OF MAIN STREET; THENCE SOUTHEASTERLY ALONG THE CENTERLINE OF MAIN STREET TO AN INTERSECTION WITH THE CENTERLINE OF SOUTH STREET; THENCE NORTHEASTERLY ALONG THE CENTERLINE OF SOUTH STREET TO AN INTERSECTION WITH THE CENTERLINE OF SAN CARLOS COURT; THENCE NORTHEASTERLY ALONG THE CENTERLINE OF SAN CARLOS COURT TO AN INTERSECTION WITH THE WESTERLY RIGHT-OF-WAY LINE OF SAN CARLOS BOULEVARD; THENCE NORTHEASTERLY ALONG SAID WESTERLY RIGHT-OF-WAY LINE TO AN INTERSECTION WITH A PORTION OF THE NORTHERLY BOUNDARY OF THAT CERTAIN PARCEL OF LAND DESCRIBED IN OFFICIAL RECORD BOOK 2781 AT PAGE 1581 OF SAID PUBLIC RECORDS; THENCE WESTERLY ALONG SAID NORTHERLY BOUNDARY TO AN INTERSECTION WITH THE SOUTHERLY EXTENSION OF THE WEST LINE OF THAT CERTAIN PARCEL OF LAND DESCRIBED IN OFFICIAL RECORD BOOK 1736 AT PAGE 652 OF SAID PUBLIC RECORDS; THENCE NORTHERLY ALONG SAID WEST LINE TO AN INTERSECTION WITH THE NORTH LINE OF THAT CERTAIN PARCEL OF LAND DESCRIBED IN OFFICIAL RECORD BOOK 2166 AT PAGE 3633 OF SAID PUBLIC RECORDS; THENCE EASTERLY ALONG SAID NORTH LINE AND THE EASTERLY EXTENSION THEREOF TO AN INTERSECTION WITH THE EASTERLY RIGHT-OF-WAY LINE OF SAN CARLOS BOULEVARD; THENCE SOUTHERLY ALONG SAID EASTERLY RIGHT-OF-WAY LINE TO AN INTERSECTION WITH THE NORTH LINE OF THAT CERTAIN PARCEL OF LAND DESCRIBED IN OFFICIAL RECORD BOOK 2905 AT PAGE 365 OF SAID PUBLIC RECORDS; THENCE SOUTHEASTERLY ALONG SAID NORTH LINE TO AN INTERSECTION WITH THE NORTHERLY EXTENSION OF THE EAST LINE OF THAT CERTAIN PARCEL OF LAND DESCRIBED IN OFFICIAL RECORD BOOK 2855 AT PAGE 1363 OF SAID PUBLIC RECORDS; THENCE SOUTHERLY ALONG SAID EAST LINE TO AN INTERSECTION WITH THE SOUTH LINE OF SAID PARCEL; THENCE WESTERLY ALONG SAID SOUTH LINE TO AN INTERSECTION WITH THE AFOREMENTIONED EASTERLY RIGHT-OF-WAY LINE OF SAN CARLOS BOULEVARD; THENCE SOUTHWESTERLY ALONG SAID EASTERLY RIGHT-OF-WAY LINE TO AN INTERSECTION WITH THE NORTHERLY LINE OF THAT CERTAIN PARCEL OF LAND DESCRIBED IN OFFICIAL RECORD BOOK 2152 AT PAGE 4275 OF SAID PUBLIC RECORDS; THENCE SOUTHEASTERLY ALONG SAID NORTHERLY LINE TO AN INTERSECTION WITH THE EASTERLY LINE OF SAID PARCEL; THENCE SOUTHWESTERLY, THEN SOUTHEASTERLY AND THEN SOUTHWESTERLY ALONG SAID EASTERLY LINE TO AN INTERSECTION WITH THE SOUTHERLY LINE OF SAID PARCEL; THENCE NORTHWESTERLY ALONG SAID SOUTHERLY LINE TO AN INTERSECTION WITH THE AFOREMENTIONED EASTERLY RIGHT-OF-WAY LINE OF SAN CARLOS BOULEVARD; THENCE SOUTHWESTERLY ALONG SAID EASTERLY RIGHT-OF-WAY LINE TO AN INTERSECTION WITH THE CENTERLINE OF BUTTONWOOD STREET; THENCE SOUTHEASTERLY AND THEN SOUTHWESTERLY ALONG THE CENTERLINE OF BUTTONWOOD STREET TO AN INTERSECTION WITH THE SOUTHEASTERLY EXTENSION OF THE NORTHERLY LINE OF LOT 24, BLOCK 9, OF THE AFOREMENTIONED SAN CARLOS ON THE GULF SUBDIVISION; THENCE NORTHWESTERLY ALONG SAID NORTHERLY LINE TO AN INTERSECTION WITH THE WESTERLY LINE OF SAID LOT 24; THENCE SOUTHWESTERLY ALONG THE WESTERLY LINE OF LOTS 24 THROUGH 38 OF SAID BLOCK 9 TO AN INTERSECTION WITH THE SOUTHERLY LINE OF SAID LOT 38; THENCE SOUTHEASTERLY ALONG SAID SOUTHERLY LINE TO AN INTERSECTION WITH THE CENTERLINE OF BUTTONWOOD STREET; THENCE SOUTHWESTERLY ALONG SAID CENTERLINE TO AN INTERSECTION WITH THE CENTERLINE OF MAIN STREET AND THE POINT OF BEGINNING.
(Ord. No. 05-29, § 4, 12-13-2005)
Editor's note— Printed herein is Appendix I to the Land Development Code. Ordinance No. 05-29, § 4, adopted December 13, 2005, repealed Appendix I in its entirety and enacted a new Appendix I to read as herein set out. The former Appendix I derived from Ordinance No. 99-22, § 4, adopted December 14, 1999; Ordinance No. 98-28, § 6, adopted December 8, 1998. Ordinance No. 13-10, § 11, adopted May 28, 2013, changed the title of Appendix I from "Redevelopment Overlay District Boundaries" to "Planning Community and Redevelopment Overlay District Boundaries and Legal Descriptions." Subsequently, Ordinance No. 16-19, § 11, adopted November 15, 2016, deleted Maps 1 and 2, relating to the Estero Planning Community, which derived from Ordinance No. 05-29, § 4, adopted December 13, 2005. Amendments are indicated by parenthetical history notes following amended provisions. The absence of a history note indicates that the provision remains unchanged from the original. Obvious misspellings and punctuation errors have been corrected without notation. For stylistic purposes, a uniform system of headings, catchlines and expression of numbers in text has been used. Additions made for clarity are indicated by brackets.