Zoning Districts and Standards
The boundaries of zone districts and their application throughout the Town as established hereby shall be shown on a map entitled "Zoning District Map of the Town of Silverthorne." This map and all notations, references and data shown thereon are by reference hereby made a part of this Chapter. The Town Council shall control the boundaries, and locations of the districts may be amended by the Town Council from time to time by ordinance.
(Ord. 2003-20 §2)
(a)
Unless otherwise provided, zone district boundaries shall be on municipal corporate lines, section lines, lot lines, natural boundary lines or on the center lines of highways, streets, alleys, railroad rights-of-way or such lines extended. In cases where such lines are not used, the zone district lines shall be as determined by using the scale of the Zoning District Map.
(b)
Where a lot in an approved subdivision is divided by a zoning district boundary line at the time of enactment of this Chapter or by subsequent amendments thereto, the less restrictive zone requirements may be extended within the lot into the more restrictive zoning district for a distance of not more than fifty (50) feet or to a point within ten (10) feet of the line of the lot which is in the more restrictive district, whichever is less.
(c)
Disputes concerning the exact location of any zone district boundary line shall be decided by the Town Council.
(Ord. 2003-20 §2)
For areas zoned PUD - Planned Unit Development, the development guides and development plans incorporated into the ordinance establishing the zoning are hereby incorporated into and made a part of this Article. Whenever such guides or plans do not address a particular topic, situation or issue, the provisions of this Article shall apply.
(Ord. 2003-20 §2)
(a)
Intent. General requirements and exceptions shall provide for special case considerations applicable to this Chapter.
(b)
Minimum area and width of lot.
(1)
No part of the area or width of a lot required for the purpose of complying with the provisions of this Chapter shall be included as part of the area or width required for another lot.
(2)
The minimum area and width limitations in this Article shall not apply to utility service facilities. Area and width limitations for major facilities of a public utility shall be addressed as conditional use review following the procedures contained in Section 4-4-19 of this Article.
(c)
Minimum yards.
(1)
Cornices, canopies, eaves, fireplaces, wing walls or similar architectural features may extend into a required yard setback not more than three (3) feet, but in no case closer than three (3) feet to any lot line.
(2)
Fire escapes may extend into a required yard setback not more than six (6) feet.
(3)
Open, unenclosed, uncovered patios, decks and porches greater than four (4) feet above ground level shall not extend into a required front or rear yard setback more than three (3) feet. All side yard setback requirements must be met. Covered, enclosed patios, decks and porches cannot encroach into a front or rear yard setback. No encroachments into utility easements shall be permitted.
(4)
Whenever a lot adjoins street frontage, the front yard setback requirement shall apply to those lot lines.
(5)
No part of a yard required for a building for the purpose of complying with the provisions of this Chapter shall be included as part of a yard for another building.
(d)
Maximum height of buildings.
(1)
The height limitations of this Chapter shall not apply to church spires, belfries, cupolas, penthouses or domes not used for human occupancy, to chimneys, ventilators, skylights, water tanks, silos, antennas, utility poles and necessary mechanical appurtenances usually carried above the roof level. However, the height of antennas used for microwave receiving dishes and noncommercial purposes, such as ham radio, television or citizen bands, shall be no greater than the distance to the nearest property line.
(2)
It shall be unlawful to construct, build, establish or continue to maintain any building, tree, smoke stack, chimney, flag pole, wires, tower or other structure or appurtenance thereto which may constitute a hazard or obstruction to the safe navigation, landing and take-off of aircraft at a publicly used airport under the regulation of the appropriate United States Civil Aeronautics Authority, in compliance with this Article.
(3)
All dwellings and structures shall be constructed in accordance with all applicable Town regulations and the International Building Code as adopted by the Town.
(4)
Underground housing may be allowed subject to meeting all applicable Town regulations and site plan approval. No underground construction shall be allowed to encroach within designated easements or required setbacks from adjoining property lines without Town approval.
(e)
Fences, hedges and walls. Fences, hedges and walls shall be permitted in all districts and do not have to comply with the minimum setbacks of the zone district in which they are located if the following regulations are complied with:
(1)
Fences, hedges and walls shall not exceed thirty (30) inches in height within sight triangles on corner lots consistent with the Town of Silverthorne Engineering Standards.
(2)
Fences, hedges and walls in residential areas shall not exceed seven (7) feet in height in a rear or side yard, and shall not exceed four (4) feet in height when located in required front yards. Fence, hedge, or wall heights shall be measured from existing natural grade at the base to the highest point of the fence, hedge, or wall.
(3)
Fences and walls shall be constructed of natural materials, including wood, rock, or stone whenever practical.
(f)
Except where private roads are proposed in which a special district or some other duly established entity (recognized by the Town Council) has agreed in writing to maintain the road in perpetuity, land proposed for rezoning or site plan approval shall have access to a publicly dedicated right-of-way.
(g)
Trash, junk, inoperable vehicles. No land may be used as an outside storage area for the purpose of collecting, dismantling, storing or selling of junk, trash, rubbish, refuse of any kind, remnants of wood, metal or plastic, discarded material, inoperative vehicles or dismantled machinery, whether or not the same could be put to any reasonable use. Refuse shall not be stored for a period exceeding thirty (30) consecutive days.
(h)
Permanent landscape features and structures are not permitted within utility easements, including trees, retaining walls, hot tubs, and sheds, except on a case-by-case basis, as determined by the Community Development Department. Any landscape feature or structure placed within a utility easement may be removed by the utility provider without replacement.
(Ord. 2003-20 §2; Ord. 2019-05, § 1; Ord. 2025-10, §2)
The A-1 Agricultural Zone District consists of area used primarily for agricultural or ranching uses, but also including residential uses.
(1)
Permitted uses: consult the use schedule at Section 4-4-17.
(2)
Lot frontage, minimum: two hundred (200) feet.
(3)
Lot area, minimum: two (2) acres.
(4)
Lot coverage, maximum: ten percent (10%).
(5)
Building height, maximum: twenty-five (25) feet.
(6)
Front setback, minimum:
a.
Major highway: one hundred (100) feet.
b.
Primary county road: fifty (50) feet.
c.
Collector street: forty (40) feet.
d.
Local street: thirty (30) feet.
(7)
Side setback, minimum: twenty-five (25) feet.
(8)
Rear setback, minimum: twenty-five (25) feet.
(Ord. 2003-20 §2)
The R-2 Residential Zone District consists of area used for long-term residential purposes at an average density of two (2) units per acre.
(1)
Permitted uses: consult the use schedule at Section 4-4-17.
(2)
Lot frontage, minimum: one hundred (100) feet.
(3)
Lot area, minimum, per unit: twenty-one thousand (21,000) square feet.
(4)
Lot coverage, maximum: twenty percent (20%).
(5)
Building height, maximum: twenty-five (25) feet.
(6)
Front setback, minimum:
a.
Major highway: thirty-five (35) feet.
b.
Primary county road: twenty-five (25) feet.
c.
Collector street: twenty (20) feet.
d.
Local street: twenty (20) feet.
(7)
Side setback, minimum: ten (10) feet.
(8)
Rear setback, minimum: twenty-five (25) feet.
(Ord. 2003-20 §2)
The R-6 Residential Zone District consists of area used for long-term residential purposes at an average density of six (6) units per acre.
(1)
Permitted uses: consult the use schedule at Section 4-4-17.
(2)
Lot frontage, minimum: seventy (70) feet.
(3)
Lot area, minimum, per single-family unit: seven thousand two hundred (7,200) square feet; per duplex structure: fourteen thousand (14,000) square feet; per triplex structure: twenty thousand (20,000) square feet; each additional dwelling unit within the same structure: six thousand (6,000) square feet.
(4)
Lot coverage, maximum: thirty percent (30%).
(5)
Building height, maximum: twenty-five (25) feet.
(6)
Front setback, minimum:
a.
Major highway: thirty-five (35) feet.
b.
Primary county road: twenty-five (25) feet.
c.
Collector street: twenty (20) feet.
d.
Local street: twenty (20) feet.
(7)
Side setback, minimum: ten (10) feet.
(8)
Rear setback, minimum: twenty (20) feet.
(Ord. 2003-20 §2)
The R-15 Residential Zone District consists of area used for long-term residential purposes at an average density of fifteen (15) units per acre.
(1)
Permitted uses: consult the use schedule at Section 4-4-17.
(2)
Single-family and duplex dwelling standards:
a.
Lot frontage, minimum: seventy (70) feet.
b.
Lot area, minimum, per single-family structure: seven thousand two hundred (7,200) square feet; per duplex structure: fourteen thousand (14,000) square feet.
c.
Lot coverage, maximum: thirty percent (30%).
d.
Building height, maximum: twenty-five (25) feet.
e.
Front setback, minimum:
1.
Major highway: thirty-five (35) feet.
2.
Primary county road: twenty-five (25) feet.
3.
Collector street: twenty (20) feet.
4.
Local street: twenty (20) feet.
f.
Side setback, minimum: ten (10) feet.
g.
Rear setback, minimum: twenty (20) feet.
(3)
Multifamily dwelling standards:
a.
Lot area, minimum, per triplex structure: twenty thousand (20,000) square feet; each additional dwelling unit within the same structure: six thousand (6,000) square feet.
b.
Lot coverage, maximum: thirty percent (30%).
c.
Building height, maximum: thirty-five (35) feet.
d.
Front setback, minimum:
1.
Major highway: thirty-five (35) feet.
2.
Primary county road: twenty (20) feet.
3.
Collector street: twenty (20) feet.
4.
Local street: twenty (20) feet.
e.
Side setback, minimum: ten (10) feet.
f.
Rear setback, minimum: twenty (20) feet.
(Ord. 2003-20 §2)
The intent of the C-1 Light Commercial Zone District is to allow for sales and service facilities and establishments which conduct all activities inside and may require outside display, some outside servicing and/or secured storage for large merchandise.
(1)
Permitted uses: Consult the use schedule in Section 4-4-17.
(2)
Lot frontage, minimum: none.
(3)
Lot area, minimum: none.
(4)
Lot coverage, maximum: sixty percent (60%).
(5)
Maximum building height shall be as stated and described in the Design District Standards.
(6)
Front setback, minimum.
a.
Major highway: twenty (20) feet.
b.
Primary county road: fifteen (15) feet.
c.
Collector street: ten (10) feet.
d.
Local street: ten (10) feet.
(7)
Side setback, minimum: none, except where abutting a residential zone district, in which case it shall be the same as for the residential district abutting, except that such lack of required side setback shall not be construed as preventing the Town from requiring access for emergency equipment in accordance with state law or regulation or Town ordinance or regulation. Such required access may cause the structure to be set back from the side lot line. Any corner lot located in the Commercial I (C-1) Zone District shall be required to have, on the side abutting a road, a side or rear setback equivalent to the front setback normally required for the street abutting the side or rear lot line in that zone district.
(8)
Rear setback, minimum: ten (10) feet.
(Ord. 2003-20 §2; Ord. 2008-11 §1)
The intent of the C-2 Heavy Commercial Zone District is to provide for uses which do not require visibility from main thoroughfares, are fairly self-contained operations and are likely to have large vehicles associated with a service or production operation.
(1)
Permitted uses: Consult the use schedule in Section 4-4-17.
(2)
Lot frontage, minimum: none.
(3)
Lot area, minimum: none.
(4)
Maximum building height shall be as stated and described in the Design District Standards.
(5)
Front setback, minimum:
a.
Major highway: twenty (20) feet.
b.
Principal county road: fifteen (15) feet.
c.
Collector street: ten (10) feet.
d.
Local street: ten (10) feet.
(6)
Side setback: none, except where abutting a residential zone district, in which case it shall be the same as for the residential district abutting, except that such lack of required side setback shall not be construed as preventing the Town from requiring access for emergency equipment in accordance with state law or regulation or Town ordinance or regulation. Such required access may cause the structure to be set back from the side lot line. Any corner lot located in the Commercial II (C-2) Zone District shall be required to have, on the side abutting a road, a side or rear setback equivalent to the front setback normally required for the street abutting the side or rear lot line in that zone district.
(7)
Rear setback, minimum: ten (10) feet.
(Ord. 2003-20 §2: Ord. 2008-11 §2)
Consult the use schedule in Section 4-4-17.
(Ord. 2003-20 §2)
Consult the use schedule in Section 4-4-17.
(Ord. 2003-20 §2)
(a)
Statement of concept of riverfront zoning.
(1)
The Blue River is the center and principal attraction of the Town. The Riverfront Zone District is intended to promote the Blue River as the central image of the Town. All site development proposals shall use and promote the intrinsic characteristics of the river and the riverfront property. High density residential development that may be mixed with appropriate commercial uses is desired in the Riverfront Zone District. The Riverfront District should be attractive to residents and visitors.
(2)
Each site development should be attractive from both the river and the Town Right-of-Way. The Town encourages pedestrian friendly settings in the Riverfront Zone District. Access should be obvious to a pedestrian from either the street or the river. Both new residential and business uses should provide outdoor open space on the riverside. Site design and landscape should be attractively and carefully planned.
(3)
The intent of the Riverfront District is to provide a transition from the commercial areas to the south and the residential areas to the north. The Riverfront Zone District is envisioned as a high density residential area with distinct character and a strong relationship to the Blue River. Development on either side of the river shall provide a pedestrian pathway paralleling the Blue River and connecting with adjacent pedestrian paths.
(4)
The Town encourages high quality development in the Riverfront Zone District that provides a variety of architectural elements that avoid featureless design and uninterrupted repetition of building materials. Building massing, form, length and proportions shall be designed to provide variety of visual interest while maintaining a human scale that is appropriate.
(5)
The provisions of this Section only apply to new development or major redevelopment of property within the Riverfront Zone District. Existing and non-conforming uses may continue as long as they remain otherwise lawful.
(a)
Permitted uses: consult the use schedule at Section 4-4-17.
(b)
Lot frontage, minimum: one hundred (100) feet.
(c)
Lot coverage, maximum sixty percent (60%) of total lot area.
(d)
Front setback, for fifty percent (50%) of the lot frontage, a zero (0) setback is permitted, for the remaining fifty percent (50%) of the lot frontage, a minimum five (5) foot setback is required.
(e)
Side setback, at least five (5) feet from all property lines not abutting the river or street.
(f)
River setback, twenty-five (25) feet measured from the upper bank of the Blue River.
(g)
The maximum building height shall be as stated and described in the Design District Standards and Guidelines.
(h)
Access pathway. There must be a convenient and safe pedestrian path, finished with a surface suitable for walking, at least six (6) feet in width from the side of the site development facing away from the river, through or around buildings, to the riverfront pathway
(i)
Dwelling Unit Density. The maximum number of residential dwelling units permitted per acre of land is twenty-five (25).
(j)
Path connections. All site development adjacent to the Blue River shall provide a twenty-five-foot pedestrian path easement within the minimum setback, from the top of the bank of the Blue River. The developer shall construct the pedestrian path according to the Town Parks, Trails, and Open Space Master Plan and in conformance with Section 4-5-16. All site development shall also provide a continuous six (6) foot concrete sidewalk the length of the property within the Highway 9 right-of-way.
(Ord. 2003-20 §2; Ord. 2008-10 §1; Ord. 2008-11 §3; Ord. 2015-06, §1)
(a)
Purpose. The purpose of Planned Unit Development in the Town is to encourage flexibility, creativity and innovative approaches in the development of land, to promote its appropriate and intrinsic uses, to enhance the design, character and quality of new development, to maximize the efficient use of land, to facilitate the harmonious growth of the Town, to preserve the natural and scenic features of open and wooded areas and to understand and respect the physiographic limitations of the environment. The permitted uses may include any use permitted in any zone district. However, the uses allowed shall be determined upon submission and approval of the formal application.
(b)
General requirements:
Description of the PUD process:
(1)
Preapplication conference, Subsection (e) below, is the first step in the PUD process. The preapplication conference is intended to provide the applicant with a means of understanding regulations, policies and procedures prior to making a formal submission.
(2)
Preliminary Plan and Final PUD. The two (2) steps required to obtain approval of a PUD are: (1) Preliminary Plan - a review at a preliminary level includes proposed land uses, location of density, location of geologic hazards, identification of environmentally sensitive areas, location of wildlife habitat areas, location of parks, open space, sources of required services, vehicular and pedestrian circulation, detail review of development of guidelines, and conformance with the Town Comprehensive Plan and other approved master plans; and (2) Final PUD - a review of all Final plans and guide. Each step is an individual review process and may not be combined at any step.
(3)
Each step is a distinct process. Preliminary Plan and Final PUD processes involve the submittal of an application, an application fee, required plans and reports, referrals of the proposal to other agencies and public hearings/meetings. At each step of the process, the level of design and engineering increases in order to relieve the applicant from major and potentially unnecessary expenses in situations that may require a redesign and therefore, a revision of expensive engineering or planning reports. Approval of the Preliminary Plan does not ensure approval of the Final PUD.
(4)
Alterations of approved development plan. The PUD Plan and PUD development guide, as approved by the Town Council, shall be binding and shall not be altered during the construction of the Planned Unit Development, except as hereinafter set forth.
a.
Minor amendment. Minor alterations in locations, siting, alignments, bulk of structures, placement or types of plant material, changes in grades, heights or character of structures or other similar alterations must be reviewed by the Community Development Department, in accordance with Section 4-1-22 if required by circumstances not foreseen at the time the Final development plan was approved.
b.
Major amendment. All other alterations in use, intent, rearrangement of lots, realignment of major circulation patterns, density levels, provisions governing common or open spaces or the ratio thereof, or any other alterations that substantially change the Planned Unit Development must be reviewed as a major amendment. Major amendments shall follow the review process in Section 4-1-22 for major PUD amendments, requiring a Preapplication and Final review. The same type and quality of data shall be required as for the original and final approval and passage.
(5)
Applicant's responsibility. The applicant or representative is responsible for understanding the requirements and procedures contained in this Article, the Town Comprehensive Plan and all other applicable Town plans and ordinances, and is responsible for attending all Planning Commission and Town Council hearings/meetings at which the request is considered. Failure to attend the hearings/meetings may result in the request being denied or tabled and a new hearing/meeting date scheduled. The applicant is responsible for submitting the information requested by staff for the review of the proposal.
(6)
Additional reviews fees. The applicant shall be responsible for payment of reasonable review fees as established under Appendix A of this Code.
(7)
Withdrawal of application. The applicant may withdraw an application at any phase of the process upon submittal of a written request to the Community Development Department.
(8)
Inactive files. Any application for a PUD that becomes inactive, whereby the applicant is required to submit additional information or request a hearing date and has failed to do so, for a period of more than six (6) months, shall become void, and the resubmittal of a new application and fees shall be required to pursue the PUD request. The Community Development Director may grant no more than two (2) extensions of time, of no more than three (3) months each, upon a written request by the applicant. After five (5) months, the staff planner shall notify the applicant in writing that the application will become void within thirty (30) days. After thirty (30) days, provided the applicant has not submitted the required additional information or requested a hearing date, the staff planner shall notify the applicant in writing that the application is void. This provision shall apply to all applications on file with the Town upon the effective date of adoption and any application thereafter.
(c)
Density and yard requirements.
(1)
Density. For proposals which will not rely upon existing zoned density, if any, density will be determined upon submission and approval of the Final PUD plan and guide. The applicant shall be responsible for justifying the proposed density level in terms of land planning and physiographic data. The Town shall use the underlying zoning as a guide to suggest such densities.
(2)
Yard requirements. Yard requirements will be determined upon submission and approval of the Final PUD plan and guide. The applicant shall be responsible for justifying the proposed yard requirements in terms of land planning and fire safety.
(3)
Height requirements. The maximum height of structures must be approved by the Town Council upon review of each Planned Unit Development in relation to the following factors:
a.
Geographical position.
b.
The probable effect on surrounding slopes and hills.
c.
Adverse visual effects upon adjoining property owners, other areas of a Planned Unit Development, public lands or public rights-of-way.
d.
Potential problems for adjacent sites caused by shade, shadows, loss of air circulation or loss of view.
e.
Surrounding traffic conditions and lines of sight.
f.
Uses within each building.
(d)
PUD Plan and Guide.
(1)
All Planned Unit Developments shall submit a development guide which establishes the standards, variations and requirements for the development which may be divergent from the standards of this Chapter. Those conditions established by the development guide and approved by the Town Council shall be recorded and utilized for development and review of the project.
(2)
In connection with any approval or conditional approval of a Planned Unit Development or amendment thereto, without the necessity of an application to the Board of Adjustment under Article I, Division 4 of this Chapter, the Town may permit variances to height, setback, yard and other requirements (but not in excess of the number or kind of variance which would otherwise be permitted by the Board of Adjustment), to be approved as part of any approved Planned Unit Development, or amendment thereto. An approved PUD may vary or waive any requirement of this Chapter, only to the extent such varied or waived condition is recognized in the approved PUD Plan and/or PUD Guide.
(3)
In the event the property is not already zoned PUD, an ordinance shall accompany the Final PUD application. Approval of the Final PUD application shall include first and second reading approval of the ordinance. Upon approval of the PUD, the PUD Plan and Guide shall be filed with the Town Clerk as a matter of public record, a copy of the PUD Plan and Guide shall also be recorded at the Clerk and Recorder Office, and the Zoning District Map shall be amended to show the property as zoned "PUD." The applicant shall provide a reproducible Mylar of all PUD plans at a scale acceptable to the Town, submitted as part of the Final development plan, and shall make such submission within thirty (30) days following final approval. The Official Zoning District Map shall, upon such filing, be deemed to include the new Planned Unit Development District designation and the map upgraded accordingly.
(e)
Preapplication conference.
(1)
Intent. This stage of review is designed to provide the applicant with a means of understanding regulations, policies and procedures prior to any formal submission and to learn whom to contact and work with in the process. The Community Development Department will arrange for any joint meetings with other offices/departments, when appropriate, so that discussion of a proposal can occur at one (1) time with the applicant rather than having meetings occur at separate times with each person or department involved.
(2)
Procedure.
a.
The applicant should make an appointment with the Community Development Department. The Community Development Department should be provided with some information to determine whether or not other departments need to be involved in the initial discussion.
b.
The Community Development Department would then arrange for an informal meeting, so that the applicant can discuss the proposal.
c.
The informal meeting would be held with the applicant providing a brief presentation of the proposal to those present. The goal is then to have a constructive dialogue occur and for the applicant to receive some guidance with respect to a formal application to the Town at a later time.
d.
Should the applicant decide to proceed further, formal submission of a complete application, based upon the recommendation of the Community Development Department, Town regulations and the applicant's desires, should then occur.
(f)
PUD Preliminary Plan.
(1)
Intent.
a.
The intent of the PUD Preliminary Plan is to examine the feasibility of a project, including review of the proposed design, proposed land uses, location of density, location of geologic hazards, identification of environmentally sensitive areas, wetlands and wildlife habitat areas and conformance with the Town Comprehensive Plan, other applicable master plans, zoning requirements and requirements of this Article. The Preliminary Plan shall include a Preliminary PUD Plan and Guide.
b.
The intent of the Preliminary Plan is to provide a detailed layout of the PUD. Applicants are required to provide existing and proposed man-made and natural features that are within one hundred (100) feet immediately adjacent to the proposed PUD. The PUD Plan shall include but not be limited to all road connections, pedestrian and open space connections, adjacent property lines, park facilities and utility extensions.
(2)
Review process.
a.
The applicant shall submit one (1) copy of a complete application to the Community Development Department.
b.
The submittal shall be reviewed for completeness within ten (10) working days. The applicant shall be notified of any deficiencies. An incomplete submittal shall not be processed.
c.
Once the submittal is determined complete, staff will notify the applicant of the number of copies of the Preliminary Plan application required to be submitted for distribution to referral agencies. Referral packets, with all plan exhibits folded to 9" x 12", shall be provided by the applicant to the Community Development Department. Planning staff shall distribute the referral packets. The applicant shall distribute any revised plans, as required by staff.
d.
All Preliminary Plan applications may be submitted to Town departments and other review agencies for review and comment if, in the opinion of the Community Development Department, the agency may be affected by the application or if comments by the agency will ensure a thorough analysis of the application. A list of review agencies is maintained and available at the Community Development Department.
e.
Referral agencies shall comment in writing within twenty-five (25) days of receiving a complete submittal. The Community Development Department shall forward referral comments to the applicant in a timely manner. The failure of any agency to respond within twenty-five (25) days shall, for the purpose of the meeting, be considered no comment on the plan by that agency. The applicant is encouraged to meet with the planning staff, referral agencies and other interested parties to address any concerns.
f.
The staff planner will review the referral comments and discuss the concerns with the applicant. The applicant shall address each issue identified by the referral agencies and revise the plan as needed. The revised plan shall respond to all technical and/or regulatory requirements of the referral agencies and shall include a narrative that addresses each revision or response. Referral agencies shall comment in writing within fifteen (15) days of receiving the revised plan. Should subsequent revisions be required, each revision shall follow the process described herein.
g.
Once all issues have been satisfactorily addressed, the staff planner shall notify the applicant of the scheduled meeting date and time and prepare a staff report for the Planning Commission.
h.
The Town is responsible for providing public notice prior to the Planning Commission meeting in compliance with the public notice requirements in Article VII of this Chapter.
i.
A public community meeting shall be held by the applicant for review by the public prior to the Planning Commission hearing. This meeting will require a public notice and notification of all property owners within two hundred (200) feet of said property. Notice of the community meeting shall be published one (1) time in a newspaper of general circulation, and such notice will be placed in the "Public Notice" section of that newspaper and a minimum display ad no less than two (2) inches by two and one-half (2.5) inches. Public notice must be published at least seven (7) days prior to the scheduled community meeting, and property owner notification must be mailed first-class, at least ten (10) days prior to the scheduled community meeting.
j.
The Planning Commission shall evaluate the application, referral comments, staff report and public testimony, and make a recommendation to the Town Council to approve, approve with conditions, continue for additional information or further study or deny the Preliminary Plan. The burden shall be on the applicant to present sufficient evidence that the criteria contained in Paragraph (f)(3) of this Section have been satisfied. The Planning Commission's recommendation shall be based on the evidence presented and compliance with the criteria for the Preliminary Plan described in Paragraph (f)(3) of this Section.
k.
Following the recommendation by the Planning Commission, the staff planner will schedule the Preliminary Plan for a meeting with the Town Council and notify the applicant of the meeting date and time.
l.
The Town shall be responsible for providing public notice prior to the Town Council meeting in compliance with the public notice requirements in Article VII of this Chapter.
m.
The Town Council shall evaluate the Preliminary Plan, referral agency comments, staff report, the Planning Commission recommendation and public testimony, and shall approve, conditionally approve, continue for additional information or for further study, remand to the Planning Commission or deny the Preliminary Plan. The burden shall be on the applicant to present sufficient evidence that the criteria contained in Paragraph (f)(3) of this Section have been satisfied. The Town Council's action shall be based on the evidence presented and compliance with the criteria for a Preliminary Plan described in Paragraph (f)(3) of this Section.
(3)
Criteria for approval of a Preliminary Plan. The Preliminary Plan may be approved if it complies with all of the following standards:
a.
General conformity with the Comprehensive Plan and other Town master plans and standards. The proposed PUD is consistent with the goals and policies of the Town Comprehensive Plan.
b.
Consistency with Chapter 4 of this Code and other applicable standards established by the Town. The proposed PUD complies with this Section and all other applicable provisions of this Article.
(4)
General Preliminary Plan submittal requirements:
a.
Completed application.
b.
Pass-thru fee application.
c.
A copy of the recorded deed and title commitment or updated title commitment current within thirty (30) days of submittal.
d.
A notarized letter of authorization from the landowner permitting a representative to process the application.
e.
A narrative outlining the proposal.
f.
Preliminary PUD Plan exhibit (described in Paragraph (f)(5) of this Section).
g.
Preliminary PUD Development Guide (described in Paragraph (f)(6) of this Section).
h.
Development reports and plans (described in Paragraph (f)(7) of this Section).
(5)
Preliminary Plan exhibit.
a.
The PUD plan exhibit shall be prepared on 24" x 36" paper at a scale of 1" = 100', 1" = 200' or another size and/or scale approved by the Community Development Director.
b.
The title shall be placed at the top of the sheet along the long dimension of each sheet and shall include the name of the proposed PUD. A general legal description stating the aliquot portion of the section, township, range, 6th P.M., shall be included under the name and planning area. PUD names shall not duplicate existing Planned Unit Development names.
c.
A block in the lower right-hand corner shall include the following: The preparation date; a north arrow designated as true north; a written and graphic scale; the names and addresses of the applicant, developer and engineer or surveyor who prepared the exhibit; and the number of the sheets and the total number of sheets.
d.
The boundary of the proposed PUD shall be depicted in a heavy solid line. Note those areas not included in the PUD as "Not included in this PUD Plan."
e.
A vicinity map that depicts the area to be considered and the area which surrounds the proposed PUD within a one-mile radius.
f.
Depict all development areas, lots and tracts to clearly show land uses proposed.
g.
On the plan, include a land use schedule listing the various land use categories, acreages and number of units.
h.
Contour lines depicted at two-foot intervals. USGS contour information shall be provided on a separate sheet showing the property and building envelopes if applicable. The staff planner may request that other significant topographic conditions be depicted at greater or lesser intervals where appropriate.
i.
Delineate all regulatory one-hundred-year floodplains and floodways, all existing and proposed watercourses, retention and detention areas, wetlands, streams and lakes on the affected property and environmentally sensitive areas within one hundred (100) feet of such property.
j.
Note the land use, zoning and ownership of the adjacent land, including the intended future use of the adjacent land, if owned by the applicant. If adjacent land has been subdivided, show adjacent lots.
k.
Note existing structures on the site, their uses and whether they are to remain on the site.
l.
Identify any historical or archaeological sites.
m.
Note significant natural or man-made features within and adjacent to the proposed PUD.
n.
Depict all potential hazard areas including: geologic hazard areas; expansive soils; areas of thirty percent (30%) or greater slope or other slope ranges, as determined necessary by the staff planner.
o.
Note short- and long-range views onto or from the site, including scenic mountain views, rock outcroppings, drainages and related matters.
p.
Depict any significant existing stands of vegetation and identify the type of vegetation.
q.
Identify wildlife habitat areas, including breeding grounds, nesting areas, crossings, wintering areas, migratory routes and related matters.
r.
Show the proposed design of the following items:
1.
Local, collector and arterial streets.
2.
Pedestrian and open space systems, including connections to adjacent development and open space areas. Include width and surface type for all pedestrian paths and/or trails.
3.
Focal points, community facilities and other special features.
4.
The treatment of potentially conflicting land uses.
(6)
Preliminary Development Guide. Any PUD shall submit a development guide which establishes the standards, variations and requirements for the development which are divergent from the zoning regulations of the Town. The development guide shall include but not be limited to proposed land uses, densities, setbacks, building heights, lot coverages, parking requirements, landscaping requirements and architectural requirements.
(7)
Development reports and plans. The applicant shall submit a report with supporting materials and completely address the items listed below as a minimum. The degree of detail for analysis of some of the following factors will depend upon the impact of the particular item on the surrounding area and the subject property. As determined by the Community Development Director, the applicant may be required to provide other documentation not listed in this Section to aid in the review of the plan. The Community Development Director may also waive or postpone until a later review stage any of these requirements.
a.
A discussion of site features as depicted on the plan that may affect the evaluation of the proposed development.
b.
A fiscal impact study demonstrating the revenues and expenditures attributable to the proposed development.
(8)
Public notice requirements shall be completed in accordance with Article VII of this Chapter.
(g)
Final PUD Plan.
(1)
Intent.
a.
The intent of the PUD Final Plan is to identify the complete PUD proposal to be considered by the Town. The Final Plan shall include a Final level PUD plan and guide.
b.
The intent of the Final Plan is to provide a layout of the PUD, which will be incorporated in the Official Zoning Map.
(2)
Review process.
a.
The applicant shall submit one (1) copy of a complete application to the Community Development Department.
b.
The submittal shall be reviewed for completeness within ten (10) working days. The applicant shall be notified of any inadequacies. An incomplete submittal shall not be processed.
c.
Once the submittal is determined complete and all issues have been satisfactorily addressed, the staff planner shall notify the applicant of the scheduled public hearing date and time and prepare a staff report for the Planning Commission.
d.
The Town is responsible for providing public notice prior to the Planning Commission public hearing in compliance with the public notice requirements in Article VII of this Chapter.
e.
The Planning Commission shall evaluate the application, staff report and public testimony, and make a recommendation to the Town Council to approve, approve with conditions, continue for additional information or further study or deny the Final Plan. The burden shall be on the applicant to present sufficient evidence that the criteria contained in Paragraph (g)(3) of this Section have been satisfied. The Planning Commission's decision shall be based on the evidence presented and compliance with the criteria for the Final Plan described in Paragraph (g)(3) of this Section.
f.
Following the recommendation by the Planning Commission, the staff planner will schedule the Final Plan for a public hearing with the Town Council and notify the applicant of the hearing date and time.
g.
The Town shall be responsible for providing public notice prior to the Town Council public hearing in compliance with the public notice requirements in Article VII of this Chapter.
h.
The Town Council shall evaluate at a public hearing the Final Plan, referral agency comments, staff report, the Planning Commission recommendation and public testimony, and shall approve, conditionally approve, continue for additional information or for further study, remand to the Planning Commission or deny the Final Plan. The burden shall be on the applicant to present sufficient evidence that the criteria contained in Paragraph (g)(3) of this Section have been satisfied. The Town Council's action shall be based on the evidence presented, and compliance with the criteria for the Final Plan described in Paragraph (g)(3) of this Section.
(3)
Criteria for approval of a Final Plan. The PUD shall comply with all of the following standards:
a.
Consistency with the Comprehensive Plan and other Town master plans and standards. The proposed PUD is consistent with the goals and policies of the Town Comprehensive Plan.
b.
Consistency with Chapter 4 of this Code and other applicable standards established by the Town. The proposed PUD complies with this Section and all other applicable provisions of this Article.
(4)
General Final Plan submittal requirements:
a.
Completed land use application.
b.
A copy of the recorded warranty deed and title commitment or updated title commitment current within thirty (30) days of submittal.
c.
A notarized letter of authorization from the landowner permitting a representative to process the application.
d.
A narrative outlining the proposal.
e.
Final PUD Plan exhibit (described in Paragraph (g)(5) of this Section).
f.
Final PUD Development Guide (described in Paragraph (g)(6) of this Section).
g.
Final development reports and plans (described in Paragraph (g)(7) of this Section).
(5)
Final PUD plan exhibit.
a.
The plan exhibit shall be prepared on 24" x 36" paper at a scale of 1" = 100', 1" = 200' or another size and/or scale approved by the Community Development Director.
b.
The title shall be placed at the top of the sheet along the long dimension of each sheet and shall include the name of the proposed PUD. A general legal description stating the aliquot portion of the section, township, range, 6th P.M., shall be included under the name and planning area. PUD names shall not duplicate existing Planned Unit Development names.
c.
A block in the lower right-hand corner shall include the following: The preparation date; a north arrow designated as true north; a written and graphic scale; the names and addresses of the applicant, developer and engineer or surveyor who prepared the exhibit; and the number of the sheets and the total number of sheets.
d.
The boundary of the proposed PUD shall be depicted in a heavy solid line. Note those areas not included in the PUD as "Not included in this PUD Plan."
e.
A vicinity map that depicts the area to be considered and the area which surrounds the proposed PUD within a one-mile radius.
f.
Depict all development areas, lots and tracts to clearly show land uses proposed.
g.
On the plan, include a land use schedule listing the various land use categories, acreages, total number of units and average density of land use categories.
(6)
A Final Development Guide which establishes the standards, variations and requirements for the development which are divergent from the zoning regulations of the Town. The development guide shall include but not be limited to proposed land uses, densities, setbacks, building heights, lot coverages, parking requirements, landscaping requirements and architectural standards or guidelines.
(7)
Development reports and plans. The Community Development Director may require additional reports and documentation not listed in this Section to aid in the review of the plan.
a.
A discussion of site features as depicted on the plan that may affect the evaluation of the proposed development.
b.
A final fiscal study.
(8)
Public notice requirements shall be completed in accordance with Article VII of this Chapter.
(Ord. 2009-18 §4)
(a)
Intent.
(1)
The purpose of this Section is to establish the procedure and requirements for requested amendments to this Article or the Official Zoning Map.
(2)
Any amendments to this Article proposed by a property owner, Town Staff, Planning Commission or Town Council shall be processed according to the procedures and requirements of Subsection (b) of this Section.
(3)
Except as set forth in Section 4-4-14, amendments to the Official Zoning Map (Rezoning) shall be processed according to the procedures and requirements of Subsection (b) of this Section.
(b)
Procedure for Zoning Map amendment (rezoning).
(1)
Submittal of rezoning application. The applicant will submit to the Community Development Department the materials necessary for the rezoning request. The Community Development Department shall have ten (10) days to review the submittal for completeness.
(2)
The Community Development Department will send the application out for referrals to various agencies for comment. These agencies will have twenty-five (25) days to respond.
(3)
The Town is responsible for providing public notice prior to the public hearing in compliance with the public notice required in Article VII of this Chapter.
(4)
Planning Commission hearings. The Planning Commission conducts a public hearing for the purpose of providing a recommendation to the Town Council on the rezoning issue. The Planning Commission shall evaluate the application, staff report and public testimony, and make a recommendation to the Town Council to approve, approve with conditions, continue for additional information or further study or deny the rezoning application. Scheduling of the hearing will depend on other development applications to be heard by the Commission.
(5)
Town Council hearings. The Town Council conducts a public hearing to consider the rezoning. Notice of the hearing shall be given as provided in Article VII of this Chapter. The Town Council, at the public hearing and after review and discussion of the proposal, shall take one (1) of the following actions:
a.
Approval of the request, without conditions.
b.
Conditional approval of the request, indicating for the record what conditions shall be attached to the proposal.
c.
Disapproval of the request, indicating for the record the reasons for the recommendation of denial.
d.
Continuing the request, at a date and time certain in order to obtain more information to help clarify or support the request before them.
If the Council decides to rezone the property, the Council shall adopt an ordinance rezoning the property.
(6)
Submittal requirements.
a.
The applicant shall submit the following information to the Community Development Department. Additional information may be requested after the formal application is received:
1.
A completed development application form and appropriate rezoning fees.
2.
Narrative outlining the proposal.
3.
A copy of the recorded deed and title commitment current within thirty (30) days.
4.
An alphabetical list of all property owners within two hundred (200) feet of the affected property.
5.
Twenty (20) copies of the rezoning map, including a written legal description (folded to 9" x 12") and area to be rezoned and prepared in accordance with this Section. Additional copies may be requested for referral.
6.
A consent letter if the applicant is different from the landowner.
7.
An economic justification study analyzing the need for such additional zone district area.
b.
Rezoning request narrative. The applicant shall submit a narrative which includes the following information:
1.
Applicant's name.
2.
Description of the general proposal.
3.
Present zoning and land use on and surrounding the site.
4.
General development schedule and phasing plan when the project is not constructed at one (1) time.
5.
Statement of consistency with the Town Comprehensive Plan.
6.
Description of water and sewer systems proposed to serve the site.
c.
Rezoning map exhibit. The rezoning map for a proposed site shall be prepared in a clear and legible manner. The Community Development Department may reject and return any formal submittal which, in its opinion, does not display the required information or is done in an unacceptable manner (i.e., poor drafting, etc.). The plan shall be prepared at a scale of one inch equals one hundred feet (1" = 100'), two hundred feet (1" = 200') or another scale approved by the Community Development Department which allows for maximum clarity of the proposal. Each rezoning map shall contain the following information:
1.
All adjacent land owned by the applicant; land not part of the proposed request shall be noted as an exception and/or indicate intended current/future use of the land.
2.
Graphically define all natural and man-made water courses, retention areas, streams and lakes. Any known one-hundred-year floodplain affecting the property shall also be delineated.
3.
Show topography on the site at two-foot contours. Other significant topographical conditions should be shown at more defined contours.
4.
Show public access to the proposed development/site.
5.
Show all existing structures on the site, their uses and whether they are to remain on the site.
6.
Delineate at appropriate scale existing easements on the site, their uses and who holds or owns the right to that easement.
7.
North arrow with written and graphic scale, and indicate the preparation date of the plan.
8.
Vicinity map showing the relationship of the site to the surrounding area within one (1) mile.
9.
Indicate the name, address and telephone number of the property owner, applicant (if different) and the persons who prepared the submittal.
10.
Show all existing and proposed streets, drives and roads on or affecting the site, and the names of existing streets on or adjoining the site.
11.
Note existing land uses on adjoining properties and said property's zoning.
12.
Note existing zoning of the site, the proposed zoning of the site or the portion in the request, average lot size, proposed density and all public/private sources of utility services/facilities.
13.
Provide an accurate legal description of the property being shown in the proposal.
14.
Indicate the name of the proposal.
15.
Indicate any land to be dedicated to the Town.
16.
Note on the plan any unique features on the site; historical features, unique land forms, views, etc.
17.
In addition, at the request of the Community Development Department, the applicant shall provide any reasonable information on the proposal when needed to help clarify the request being made.
d.
Additional information. Depending upon the size and proposed land uses, the Town may require:
1.
A traffic impact study. This study shall be prepared in accordance with the guidelines contained in the "Town of Silverthorne Roadway Design and Construction Criteria Manual."
2.
A fiscal impact study demonstrating the revenues and expenditures attributable to the proposed development.
(Ord. 2003-20 §2)
(a)
Intent. The purpose of this Section is to provide a procedure to process annexation and zoning requests concurrently.
(b)
Filing of petitions. Petitions for annexation and for annexation elections shall be filed with the Town Clerk. The Town Clerk shall refer the petitions to the Town Council as a communication.
(c)
Review of petitions. Upon receipt of the petitions, the Town Council shall proceed as described in Article III.
(d)
The Planning Commission shall not accept for review any zoning proposal or applications for real property proposal or applications for real property located outside of the Town boundaries until the Town Council has determined that annexation petitions describing the property substantially comply with the requirements of Title 31, Article 12, C.R.S., or the Town Council has tabled any action on the annexation petitions for a period of time not to exceed one hundred eighty (180) days.
(Ord. 2003-20 §2)
The following schedule of permitted uses for the various zone districts within the Town is hereby adopted and declared to be a part of this Chapter and may be amended in the same manner as any other part of this Chapter. In each zoning district, any uses not expressly permitted either by right, upon conditional review or as an accessory use shall be deemed to be excluded. The Community Development Director shall render the final administrative decision concerning the scope, application and meaning of terms in this Section.
Use Schedule
(Ord. 1997-4 §§1, 2; Ord. 2003-20 §2; Ord. 2005-9 §2; Ord. 2009-23 §2; Ord. 2012-2 §1; Ord. 2013-2 §3; Ord. 2015-06, §2; Ord. 2016-01, § 2; Ord. 2025-07, §2)
No building permit shall be issued for a use not specifically mentioned or described by category in this Chapter. In case of doubt or dispute, and before a building permit is issued, the Community Development director shall determine the use group in which the use shall be classified.
(Ord. 2003-20 §2)
(a)
Permit required. A conditional use permit shall be required prior to the issuance of a building permit or business license associated with, or the commencement of, any use identified in this Chapter as a conditional use in the relevant zone district. No conditional use shall be considered a use by right. Any use built and actually in existence on the original effective date of this Chapter as a use by right which is rendered a conditional use in the zone district where it is located by the terms of this Chapter, as amended, shall be considered a use by right and not a conforming use.
(b)
Procedure.
(1)
An application with the required materials shall be filed with the Community Development Department. Only complete submittals will be accepted. Projects will not be scheduled until deemed complete by the Community Development Department.
(2)
The application shall be reviewed in accordance with the procedure established in Section 4-1-22 and the criteria established in this Section.
(3)
A conditional use permit is valid so long as the conditions of approval are maintained by the applicant. If an approved conditional use ceases operation for any reason for a period of one (1) year or more, the conditional use permit shall be deemed expired.
(4)
If the conditions of a conditional use permit become the responsibility of a person or entity other than the applicant, the Community Development Department shall be notified in writing, identifying the new person or entity responsible for maintaining the conditions of the permit. Until such notice is received, the applicant shall remain responsible for maintaining those conditions. The notice shall be attached to the permit on file with the Community Development Department.
(5)
Failure to maintain Town Council-imposed conditions shall constitute a violation of this Section, which violations may be prosecuted by a summons and complaint in the Municipal Court. Notwithstanding Section 1-1-19 of this Code, the Municipal Judge shall impose a fine of not less than one thousand dollars ($1,000.00) upon conviction of a first offense of violations of this Section, and a fine of not less than one thousand five hundred dollars ($1,500.00) for the second and all subsequent violations, but may not impose any jail sentence. Subsequent to a second conviction for violation and upon the discovery of a third or subsequent violation, the Community Development Director may schedule a public hearing at which the Town Council will consider revocation of the permit. Public notice of the hearing shall be given pursuant to Article VII of this Chapter.
(c)
Submission requirements. The applicant for a conditional use permit shall submit to the Community Development Department any or all of the following materials, which are, in the opinion of the Community Development Director, relevant to the particular permit being requested. Only complete submittals will be accepted:
(1)
A complete conditional use permit application and the required fee.
(2)
A legal description of the property involved.
(3)
A site plan showing proposed uses and structures on the property meeting all standards and requirements of Article VI .
(4)
Scaled elevations and/or perspective drawings of any proposed structures.
(5)
A proposed development schedule indicating:
a.
Date of the beginning of the use and/or construction.
b.
Phases in which the project may be developed and the anticipated rate of development.
c.
Date of completion of the project.
(6)
Any agreements, provisions or covenants to be recorded.
(7)
Restoration or reclamation plans shall be required for all conditional uses requiring extensive grading and for extractive uses.
(8)
A statement regarding any provisions for proper ongoing maintenance of the use and site.
(9)
All proposed land use and floor space activity indicating this use type and areas clearly labeled on floor plans.
(10)
Any additional materials which, in the opinion of the Community Development Department, are necessary to adequately review the application.
(d)
Criteria for review and decision. The Town shall consider the following criteria when evaluating an application for conditional use permit:
(1)
Whether the proposed use or development otherwise complies with all requirements imposed by this Chapter.
(2)
Whether the proposed use or development is in conformance with the Town's Comprehensive Plan.
(3)
Whether the proposed use or development is compatible with adjacent uses. Such compatibility may be expressed in appearance, architectural scale and features, site design, and the control of any adverse impacts, including noise, dust, odor, lighting, traffic, safety and impact on property values of the surrounding area.
(4)
Suitability of location for the use or development.
(5)
History of compliance by the applicant with the requirements of this Code and prior conditions, if any, regarding the subject property.
(6)
Ability of the applicant or any successor-in-interest to continuously meet the conditions of the proposed permit.
(7)
Other factors relevant to the specific application.
(e)
Amendments. No approved conditional use or development may be modified, structurally enlarged or expanded in ground area, unless such modification, enlargement or expansion receives the prior approval of the Town, which shall be obtained by repetition of the procedures provided by this Section.
(f)
For all uses in districts in which a conditional use is permitted pursuant to this Code, approval of a conditional use may be limited to a period of time not less than one (1) year, subject to later review and continued conditional use approval as set forth in this Section.
(g)
If an owner of property which is subject to conditional use approval that is limited to a term of years as permitted by Subsection (f) above intends to continue the conditional use, the owner shall, prior to the expiration of the limited term of conditional use approval, submit to the Community Development Department a letter of intent to continue the approved conditional use. The owner's submission of a letter of intent to continue the conditional use shall postpone the expiration of the term of the conditional use approval until such time as the Town either approves or denies the continuation of the conditional use. Failure of the owner of property to submit a letter of intent to continue the approved conditional use shall not preclude the Town from independently initiating a review pursuant to this Section for continuation of the approved conditional use.
(h)
Within fifteen (15) days of receipt of the owner's letter of intent, the Community Development Department shall determine whether the property owner has fully complied with and is presently in compliance with all conditions of use approval. If the Community Development Department believes that the property owner has fully complied with the conditions of use approval and is, at that time, in full compliance with the conditions of use approval, the Community Development Department may renew the conditional use approval for a period of not less than one (1) year or equal to the period of time previously granted for the conditional use. The Community Development Department shall mail to the owner at the owner's last known address notice of the renewal of such conditional use.
(i)
If the Community Development Department believes that the owner of the property failed to comply with the conditions of use approval, is not at the present time in compliance with the conditions or denies the renewal, the Community Development Department shall set a public hearing at which the Town Council will consider the renewal or the expiration of the term of the conditional use. Public notice shall be given of such hearing according to Article VII of this Chapter.
(j)
The Town Council may either renew the conditional use approval for a period not less than one (1) year, find that the owner has failed to substantially comply with the conditions of use approval and that the term of the conditional use has expired, choose not to renew the conditional use for other reasons or renew the conditional use approval subject to a modification of existing conditions or the addition of new conditions.
(Ord. 2003-20 §2)
(k)
Additional requirements for water pipelines: In addition to the foregoing, an application for a conditional use permit to construct and operate a water pipeline, as defined at Section 4-2-1 of this Chapter, shall include the submission requirements listed at Sections 4-12-35, 4-12-36 and 4-12-37 of this Code, and shall be subject to the approval criteria listed at Sections 4-12-51, 4-12-52 and 4-12-53 of this Code. Water pipelines falling within the scope of Section 4-12-24(2) of this Code are exempt from this Subsection. The application fee shall be as established in Appendix A for "Matters of State Interest" under Section 4-12-33 of this Code. In the event the applicant for a conditional use permit for a water pipeline is also applying for a permit for the same project to conduct an activity of state interest pursuant to Article XII of this Chapter, the two (2) applications may be combined and heard at the same public hearing; and submission requirements, where identical, may be combined. The Town Council may, in its sole discretion, waive any part but not all of the submission requirements in the manner permitted by Section 4-12-38 of this Code.
(Ord. 2005-9 §3; Ord. 2008-5 §1)
Home occupations may be conducted only within the R-2, R-6 and R-15 zone districts, residential developments, and within Planned Unit Development districts which are wholly residential, subject to the following requirements:
(1)
The owner must first apply for and obtain a business license from the Town in the manner set forth at Chapter 1, Article VII.
(2)
The owner must continuously comply with the following conditions:
a.
The use must be clearly secondary to the primary use of the building as a residential dwelling.
b.
No article may be sold or offered for sale or delivery on the premises.
c.
The use must be operated in its entirety within the dwelling unit.
d.
No person other than those who reside within the dwelling unit may be employed in the operation.
e.
There shall be no signage or other forms of advertising, other than as permitted within each specific sign district, permitted outside of the dwelling unit.
f.
No additions to or alterations of the exterior of the dwelling unit, including outside entrances for the purpose of the "home occupation," shall be permitted.
g.
The activity shall not occupy more than twenty-five percent (25%) of the gross floor area of the dwelling unit or four hundred (400) square feet, whichever is less.
h.
The conduct of the home occupation and its external effects must not interfere with the peace, quiet and dignity of the neighborhood and adjoining properties.
(3)
In the event any of the foregoing conditions are not continuously maintained, or in the event the owner's business license expires without renewal or is revoked, the conduct of the home occupation on the property must also cease until such condition or license is reestablished to the satisfaction of the Town. Failure to maintain the conditions at Subsection (2) above shall be cause for revocation or suspension of the business license and shall be considered a violation of this Section.
(4)
In the instance of a home daycare facility, requirements and regulation of the State of Colorado shall apply.
(Ord. 2003-20 §2)
Single apartments may be allowed as a conditional use after receiving Staff approval of a single apartment conditional use under Article VII of this Chapter.
(1)
In making its decision, Community Development Department staff shall consider whether the following conditions have been met:
a.
Submission of evidence that the Community Development Department has reviewed the plans for such apartment and that they meet all applicable ordinances, standards, rules and regulations of the Town.
b.
Submission of a site plan, elevations, and floor plan which meet Town zoning, site plan and building permit requirements equal to those required by the Town before the issuance of a building permit.
c.
Evidence that sufficient off-street parking will be available for both the current occupants of the single-family dwelling and the current and future occupants of the apartment. Such parking facilities shall conform to the applicable provisions of this Code.
d.
Submission of letter of approval by the respective Homeowners Association (HOA).
e.
Payment of the prevailing system development fees sufficient to cover the addition of the apartment to the water and sewer system and payment of any past due water and sewer service fees. The system development fee shall be that prevailing at the time of the approval of the apartment. System development fees and building permitting fees may be waived for single apartments that meet the definition of deed restricted unit, and which are restricted to the 100% Area Median Income (AMI) rental rate for Summit County, and which are also restricted to tenants whose incomes are at or below 100% AMI (as calculated annually by the Summit Combined Housing Authority (SCHA)). Any owner that wishes to remove the single apartment for which fees have been waived will be required to repay to fees in full to the Town prior to removal of the single apartment.
f.
Determination that the apartment is apparently necessary in the Town, suitable to the location and not injurious to public health, safety or peace or to the character and value of the surrounding properties.
g.
Compatibility of the proposed use with the Town's Comprehensive Plan.
h.
Compatibility of adjacent uses.
(2)
The apartment shall remain unoccupied until final inspection by the Town and the issuance of a certificate of occupancy. A certificate of occupancy will only be issued for the single apartment if one has been issued for the principal single family dwelling unit.
(3)
The apartment must be built within the footprint of a single family dwelling unit, or as an integral part of a detached building located on the same lot as the single family dwelling unit.
(4)
The floor area of the apartment shall not exceed thirty-three percent (33%) of the floor area of the single family dwelling unit. For the purposes of determining the floor area of the single family dwelling unit, an attached garage (sharing a common wall, ceiling or floor with the living area) may be included and the proposed apartment may be built above an attached garage. A detached garage may not be used as part of the basis for determining the floor area of the single family dwelling unit.
(5)
The single apartment must be incidental and subordinate in size and character to the principal single-family dwelling unit.
(6)
Mobile homes, recreational vehicles, camper busses, and travel trailers shall not be used as single apartments or accessory residences.
(7)
Any single family residence where a single apartment exists or to which a single apartment is added shall not operate a short term rental, as defined by Town Code Article XVI, Short Term Rental Properties.
(8)
Single-family dwelling units that contain a single apartment shall be designed so that the exterior resembles a single-family residence. Single apartments shall complement the design and architecture of the primary residence. A single apartment shall not detract from the single-family character of the neighborhood.
(9)
Single apartments shall not count as additional units of density. Only one (1) single apartment is allowed on the lot of the associated single family dwelling unit.
(10)
The owner of the residence must establish and maintain continuous residency in either the primary residence or the single apartment. Continuous residency shall mean that the owner resides in the unit as his or her primary residence, as documented by driver's license and registration, voter registration, utility payments and other relevant indicators.
(11)
Lease term. Any lease of the single apartment shall be for a minimum term of six (6) months. If the owner of the single family dwelling unit resides in the single apartment, any lease of the single family dwelling unit, or portions thereof, shall be for a minimum term of six (6) months.
(12)
Single apartments shall not be sold separately from the single family dwelling unit on the same property.
(Ord. 2003-20 §2; Ord. 2018-14, §2; Ord. 2022-07, § 3)
(a)
Purpose.
(1)
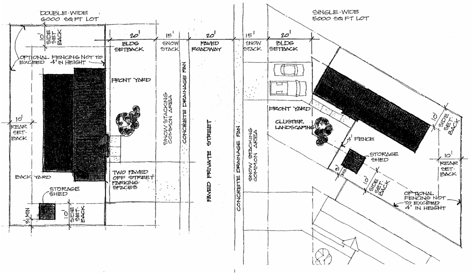
It is the intent of this Section to promote an acceptable and safe living environment for mobile home users on rented, leased or owned lots within a mobile home park and to establish compatible land use relationships with due regard to a mobile home's role as a residential dwelling unit.
(2)
These standards are designed for the purpose of promoting a low-medium density, quiet environment for mobile home parks. It is intended that these standards shall be such that the quality of an adjacent neighborhood is not detrimentally affected by a mobile home park.
(b)
Location of mobile homes restricted. Mobile homes or travel camper trailers in the Town may be parked only in a licensed mobile home park, with the following exceptions:
(1)
Emergency parking. Mobile homes or travel campers may be parked on public rights-of-way for emergency purposes, up to a maximum of twenty-four (24) hours. Such parking shall be so as not to interfere with traffic visibility and safety.
(2)
Storage. Only unoccupied camper trailers or pickup campers may be stored on private property and in that case only where a permanent residence on such property is inhabited.
(c)
Licensing and inspection.
(1)
License required. It shall be unlawful for any person to operate any mobile home park within the limits of the Town unless he or she holds a valid Town business license issued annually by the Town in the name of such person for the specific mobile home park. Licenses may be issued by the Town, provided that the applicant demonstrates that the mobile home park complies with the terms of this Chapter.
(2)
License transfer. Every person holding a Town business license for a mobile home park shall give notice in writing to the Community Development Department within twenty-four (24) hours after having sold, transferred, given away or otherwise disposed of interest in or control of any mobile home park. Such notice shall include the name and address of the person succeeding to the ownership or control of such mobile home park. A new application for transfer of the license and a new ownership fee shall be collected if the mobile home park is in compliance with all applicable provisions of this Chapter and regulations issued hereunder.
(3)
Inspection. The Town shall inspect each mobile home park at least once annually to determine compliance with the provisions of this Chapter and all other applicable ordinances, rules, regulations or codes. Such officials shall have the authority to enter upon the premises for the purpose of such inspections at any reasonable time without notice to the owner or manager.
(4)
No mobile, manufactured or modular home produced prior to 1988 may be placed within a new mobile home park or moved into an existing mobile home park.
(d)
New parks and space or site additions to all parks.
(1)
All new mobile home parks or site or space additions or development on any existing mobile home park must submit all plans and specifications for such development to the Planning Commission and obtain approval of the Town Council. The review procedure shall be as a planned unit development meeting the requirements of this Section.
(2)
The Town shall inspect each new mobile home park or space/site addition or construction on existing parks to determine compliance with the provisions of this Chapter and all other applicable ordinances, rules, regulations or codes. No occupancy shall be permitted or certificate of occupancy issued until the Town has made such determination in writing. Occupancy of the premises prior to the issuance of a certificate of occupancy shall subject the violator to the penalties set forth in this Code. Town officials shall have the authority to enter upon the premises for the purpose of such inspection at any reasonable time without notice or approval of the owner or manager.
(3)
The Town Council may, after Planning Commission review, waive or modify requirements of this Section where it has been adequately demonstrated that (1) no additional impact to the public or to the Town will result from such waiver or modification, and (2) such waiver or modification is in harmony with the character of the surrounding neighborhood and consistent with a Planned Unit Development.
(e)
Park layout standards. The following shall be considered minimum standards for the layout of mobile home parks unless the planned unit development application, as approved, permits other standards:
(1)
Minimum area. The minimum gross area for a new mobile home park is three (3) acres.
(2)
Maximum densities. Maximum density shall not exceed eight (8) mobile homes per gross acre.
(3)
Lot size; setbacks.
a.
Minimum individual lot or space area.
1.
Single-wide mobile home: five thousand (5,000) square feet.
2.
Double-wide or expandable mobile home: six thousand (6,000) square feet.
b.
Setbacks.
1.
Front yard: twenty (20) feet.
2.
Side yard: ten (10) feet.
3.
Rear yard: ten (10) feet.
4.
No infringement into the required setbacks shall occur except that storage sheds and open carports or shelters (two [2] open sides) may extend to within three (3) feet of the property line.
5.
The minimum distance of any building or mobile home from any exterior boundary of the mobile home park shall be twenty (20) feet.
Illustration No. 1: Park Layout and Design
(4)
Streets and lighting.
a.
The mobile home park shall be serviced by a private street system constructed and maintained in compliance with all Town requirements and which provides safe and convenient access from abutting public streets or roads to all mobile home spaces. All streets and sidewalks shall be constructed in accordance with the Town's design standards and specifications for local residential streets.
b.
The mobile home park shall be so designed that all mobile home spaces abut an interior roadway. All interior roadways, sidewalks, snow stacking areas and common areas shall be owned by a separate entity and maintained by the park owner, a homeowner's association or park management.
c.
All access streets shall be designed so as to provide adequate access to and from the mobile home park site at two (2) locations. All access streets shall be designed to maximize integration with existing transportation facilities in the area.
d.
All collector and access streets and pedestrian sidewalks and walkways serving more than two (2) mobile home spaces shall be lighted for the safe movement of vehicles and pedestrians. All street lights shall employ cut-off lighting, to prevent any portion of the bulb or light source from projecting below the screen or shade and meet standards of Section 4-6-13.
e.
Street and utility design. All interior streets shall be not less than twenty (20) feet in constructed width, bordered on both sides by a concrete drainage-way and a fifteen (15) foot wide snow stacking area. All underground utilities to serve the units shall be placed within the street or snow stacking easement, as illustrated below.
Illustration No. 2: Street and Utility Design
(5)
Parking.
a.
A minimum of two (2) paved, off-street parking spaces having a combined minimum area of three hundred twenty-four (324) square feet shall be maintained for each mobile home space. Said spaces shall be located within three hundred (300) feet of the mobile home space. In addition, a minimum of one (1) paved, off-street space, having a minimum area of one hundred sixty-two (162) square feet, shall be maintained for every mobile home space for the purpose of guest parking. No on-street parking shall be permitted.
b.
Except as provided in Subparagraph a above, all parking spaces shall be constructed in accordance with the design standards and specifications adopted pursuant to Section 4-6-10.
c.
Off-street automobile parking spaces shall have direct, unobstructed access to a paved street, driveway or parking area over an accessway of sufficient width to accommodate an automobile. Parking spaces may not be "stacked" such as to permit one (1) automobile to block another. (See Illustration No. 1.)
d.
Pickup trucks with camper units may occupy off-street parking spaces where said pickup with the camper unit is used regularly for transportation and when so parked the camper is unoccupied.
(6)
Storage.
a.
No storage on mobile home spaces or on off-street automobile parking spaces of boats, campers, motor homes, snowmobiles, detached pickup campers, trailers, etc., shall be permitted. Separate off-street areas for such items shall be provided in an amount equal to one hundred (100) square feet per mobile home space. Such storage areas shall be topped with a paved surface facilitating drainage and shall be screened from view by an opaque fence, not less than six (6) feet in height.
b.
A minimum of seventy-two (72) cubic feet of storage space shall be provided for each mobile home space adjacent to the mobile home in a shed or other covered structure.
(7)
Recreation area. A general area or areas amounting to not less than ten percent (10%) of the usable gross area of the park, excluding any area dedicated as public right-of-way, shall be provided for recreation use. Such areas shall not include any area designated as a mobile home space, storage area or required yard, parking or roadway. Recreation area, as used herein, shall mean an area actually developed for recreational uses with facilities commonly found in municipal parks. As part of his or her application, the applicant shall submit a plan for the area, showing location and amounts of recreational features and equipment.
(8)
Building location, placement and height. All mobile home units are encouraged to face upon and take access from an interior roadway. All mobile homes shall be placed in accordance with the approved site plan.
(9)
Boundary fencing. Each mobile home park shall be enclosed by an opaque fence not less than six (6) feet in height. Fencing around each individual mobile home lot or site shall not exceed four (4) feet in height nor intrude into the front yard setback of the unit (the side from which the occupants access the street).
(10)
Surface treatment. Exposed ground surfaces in all parts of a mobile home park shall be hard-surfaced with asphalt or concrete or other solid material or shall be protected with a vegetative growth which will prevent soil erosion and eliminate dust. Not more than fifty percent (50%) of the exposed ground surface may be hard-surfaced. Areas below the home, porch, carport or permanent outbuilding are not considered exposed.
(11)
Site conditions.
a.
The condition of the soil, groundwater level, drainage and topography within a mobile home park shall not be such as to create hazards to the property or the health or safety of the occupants of the mobile home park.
b.
The site of a mobile home park shall not be exposed to health and safety hazards such as objectionable smoke, noxious odors, unusual noise, sudden flooding, subsidence or erosions or the probability of insect or rodent infestation.
c.
The entire ground surface within a mobile home park shall be graded and equipped in such a manner as to provide diversion of water away from buildings, patios and mobile home stands; to prevent standing water and soil saturation which could be detrimental to structures; and to provide adequate and safe surface drainage.
(12)
Manufactured homes. In addition to all the requirements of this Section, manufactured homes and factory built homes located in a mobile home park shall comply with the following standards:
a.
The unit shall be placed on a foundation meeting Town building code and applicable state and federal standards.
b.
The unit, garage or carport shall have a pitched roof so there is at least a four-inch vertical rise for each twelve (12) inches of horizontal run and covered with nonreflective material that is residential in appearance, including, but not limited to, asphalt or fiberglass composition shingles, ceramic tile, concrete tile or conventional metal tiles or panels, but excluding smooth or corrugated sheet metal, aluminum or plastic panels and wood shingles.
c.
Exterior siding on the unit, garage or carport shall be residential in appearance and consisting of nonreflective materials including, but not limited to, wood, stucco, masonite, ceramic tile, conventional vinyl or metal lap siding, brick, stone or any combination of these materials, but excluding smooth or corrugated sheet metal, aluminum or plastic panels.
d.
The unit shall be at least fourteen (14) feet in width.
(13)
Nonresidential uses. No part of any park shall be used for nonresidential purposes, except as otherwise permitted by the zoning ordinance of the Town.
(14)
Landscaping. All parks containing four (4) or more residential units shall provide landscaping in the manner described in Section 4-6-11, and in the amounts required for multifamily developments under Section 4-6-11. The placement of required landscaping shall be shown and approved on the final plan with approximately equal treatment for each unit.
(f)
Utilities and services.
(1)
All utilities underground. All utilities within the park shall be installed underground.
(2)
Water supply. The water supply for the mobile home park shall be that provided by the Town. The water system shall be connected by pipes to all service buildings and all mobile home spaces. Individual water service connections which are provided for direct use by mobile homes shall be provided with individual valves below frost depth (not less than eight [8] feet) and with valve boxes to grade.
(3)
Sewage disposal.
a.
Compliance with regulations. All plumbing in the mobile home park shall comply with the plumbing laws and health regulations of the State, the County and the Town. The sewage disposal system shall be that provided by the Town.
b.
Connection of all facilities required. A system for sanitary sewage collection shall be provided in all mobile home parks and all wastes and sewer lines discharging from buildings and module homes shall be connected thereto. The collection system must in turn be connected to the Town's sewage system.
c.
Connection standards. Each mobile home space shall be provided with at least a three-inch sewer connection, tapped below the frost line, with the inlet of the line to be not less than one (1) inch above the surface of the ground. The sewer connection shall be provided with suitable fittings so that a water tight connection and proper vent can be made between the mobile home drain and the sewer connection. Such mobile home connections shall be so constructed that they can be closed air tight when not linked to a mobile home and shall be trapped in such a manner as to maintain them in an odor-free condition.
(4)
Refuse disposal system required. A central storage area for collection and disposal of refuse shall be provided in the park. Containers shall comply with state and local regulations.
(5)
Electricity and natural gas.
a.
Installation of each space. An electric outlet supply of service shall be provided for each mobile home space. The installation shall comply with all state and local electrical codes and ordinances. Electrical outlets shall be weatherproof.
b.
Area lights. Street and yard lights shall be provided in such number and intensity as to ensure the safe movement of vehicles and pedestrians at night. A light shall be located at each outside entrance of the service buildings and shall be kept lighted during the hours of darkness. All area lights shall meet Town lighting standards.
c.
Natural gas and propane. Where natural gas and/or propane is provided, installations shall comply with all applicable state, county and building code requirements.
(6)
Fire protection. Mobile home parks shall be kept free of litter, rubbish and other flammable materials.
(g)
Site use.
(1)
No mobile home shall be occupied unless situated on a mobile home space.
(2)
Location on site. All homes shall be placed in accordance with the approved site plan. The lot size, setback, storage and recreation area requirements of Subsection (e) of this Section may be varied or reduced by the Town Council in consideration of the following factors, when incorporated into the Planned Unit Development application:
a.
Orientation of homes to reduce apparent building massing and to offset front door entrances and views.
b.
Increased or innovative use of landscaping.
c.
Use of curvilinear interior streets.
d.
Recreational amenities of particular or extraordinary value to park residents.
e.
Other design elements proposed by the applicant and accepted by the Town.
(3)
Permanent additions. Permanent additions to mobile homes shall require a building permit. Skirting is permissible but shall not attach the mobile home permanently to the ground, provide a harborage for rodents or create a fire hazard. Additions must not encroach into the required setbacks.
(4)
Parking limitations. No vehicle in excess of one (1) ton carrying capacity shall be kept, stored or parked within a mobile home park except while making normal deliveries.
(5)
Performance standards apply. All performance standards of this Chapter shall apply to the use of all mobile home parks.
(h)
Management.
(1)
Enforcement of regulations. The owner or operator of the mobile home park shall arrange for the management and supervision of the mobile home park so as to enforce or cause compliance with the provisions of this Chapter.
(2)
Maintenance. The owner, operator or attendant of the mobile home park shall assume full responsibility for maintaining all facilities in good repair and condition.
(3)
Office. The mobile home park shall provide a designated on-site manager and office. For parks of ten (10) or more units, the on-site manager must reside within the park. A copy of all required Town and state licenses and permits shall at all times be kept in the park office.
(4)
Management duties. It shall be the duty of the site manager, together with the owner or operator, to:
a.
Keep a register of all tenants, which shall be open at all times to inspection by state, county and federal officers and officers of the Town:
1.
Dates of entrance and departure.
2.
License numbers of all mobile homes and towing vehicles or automobiles.
3.
States issuing such licenses.
b.
Maintain the park in a clean, orderly and sanitary condition at all times.
c.
Ensure that the provisions of this Chapter are complied with and enforced and report promptly to the proper authorities any violations of law.
d.
Provide for the payment of all license fees required by Town ordinances or other laws.
e.
Prohibit the use of any mobile home by a greater number of occupants than that which it is designed to accommodate.
f.
Provide adequate site maintenance, including, but not limited to, landscaping, recreation areas, snow and trash removal and fencing.
(5)
Signs. Each mobile home park shall provide a sign at each entrance thereto, to include the name of the park and the street address. Each mobile home space shall be numbered uniformly with reflectorized numbers of a minimum height of five (5) inches.
(Ord. 2003-20 §2)
(a)
Legislative intent. It is the intent and purpose of this Article to regulate the time, place and manner in which adult entertainment is presented in adult-oriented businesses, to promote the health, safety and general welfare of the citizens of the Town, and to establish reasonable and uniform regulations to prevent the deleterious location and concentration of adult businesses within the Town. It is not the purpose of this Article to prohibit adult entertainment or to curtail constitutionally protected freedom of expression.
(b)
Findings of fact. The Town Council finds:
(1)
Regulation of adult businesses furthers substantial governmental interests and is necessary because in the absence of such regulation, significant criminal activity has historically and regularly occurred. This history of criminal activity has included prostitution, narcotics and liquor law violations, violent crimes against persons and property crimes.
(2)
Adult businesses are frequently used for unlawful and unhealthful sexual activities, including prostitution and sexual liaisons of a casual nature.
(3)
The concern over sexually transmitted diseases, including AIDS, is a legitimate health concern of the Town which demands reasonable regulation of adult businesses in order to protect the health and well-being of the citizens.
(4)
Adult businesses have a deleterious effect on both neighboring businesses and surrounding residential areas causing an increase in crime and a decrease in property values.
(5)
It is recognized that adult businesses have serious objectionable characteristics, particularly when they are located in close proximity to each other, thereby contributing to urban blight and downgrading the quality of life in the adjacent area.
(6)
The Town Council desires to minimize and control these adverse effects and thereby protect the health, safety and welfare of the citizens; preserve the quality of life; preserve the property values and character of surrounding neighborhoods; deter the spread of urban blight and protect the citizens from increased crime.
(7)
It is necessary to have a manager on the premises of adult businesses at all times as such establishments are offering adult entertainment so that there will be an individual responsible for the overall operation of the establishment, including the actions of patrons, entertainers and other employees.
(8)
The license fees required hereinafter are necessary as nominal fees designed to help defray the substantial expenses incurred by the Town in regulating adult businesses.
(9)
Restricted hours of operation will further prevent the adverse secondary effects of adult businesses.
(10)
Locational criteria alone do not adequately protect the health, safety and general welfare of the citizens and thus certain requirements with respect to the licensing and operation of adult businesses are in the public interest.
(c)
Definitions. For the purposes of this Article, the words and phrases used herein, unless the context otherwise indicates, shall have the following meanings:
Adult arcade means any commercial establishment to which the public is permitted or invited where, for any form of consideration, one (1) or more still or motion picture projectors, slide projectors or similar machines, or other image-producing machines, for viewing by five (5) or fewer persons per machine at any one (1) time, are used to regularly show films, motion pictures, video cassettes, slides or other photographic reproductions depicting actual acts of masturbation, sexual intercourse, copulation, sodomy or displaying human genitals in a state of sexual stimulation, arousal or tumescence, or depicting excretory functions as a part of or in connection with any of the activities set forth in this Subsection.
Adult bookstore, adult novelty store oradult video store means a commercial establishment which devotes at least fifty percent (50%) of its stock-in-trade or interior floor space to, or receives at least fifty percent (50%) of its revenues from, the sale, rental or viewing (for any form of consideration) of books, magazines, periodicals or other printed matter, or photographs, films, motion pictures, video cassettes, slides or other visual representations which are characterized by the depiction or description of specified sexual activities or specified anatomical areas.
Adult business means an adult arcade, adult bookstore, adult novelty store, adult video store, adult cabaret, adult motel, adult motion picture theater or sexual encounter center.
Adult cabaret means a nightclub, bar, restaurant, concert hall, auditorium or other commercial establishment which regularly features live adult entertainment.
Adult entertainment means any exhibition, display or dance which involves the exposure to view of any portion of the female breast below the top of the areola, male genitals, female genitals or the pubic hair, anus or cleft of the buttocks of any person or male genitals in a discernibly turgid state even if completely and opaquely covered.
Adult motel means a motel, hotel or similar commercial establishment which offers public accommodations, for any form of consideration, and provides patrons with closed-circuit television transmissions, films, motion pictures, video cassettes, slides or other photographic reproductions which are characterized by the depiction or description of specified sexual activities or specified anatomical areas and which advertises the availability of the sexually oriented type of material by means of a sign visible from the public right-of-way, or by means of any off-premises advertising including, but not limited to, newspapers, magazines, pamphlets or leaflets, radio or television, and offers a sleeping room for rent for a period of time less than five (5) hours.
Adult motion picture theater means any commercial establishment to which the public is permitted or invited where, for any form of consideration, films, motion pictures, video cassettes, slides or similar photograph reproductions are regularly shown depicting actual acts of masturbation, sexual intercourse, oral copulation, sodomy or displaying human genitals in a state of sexual stimulation, arousal or tumescence, or depicting excretory functions as part of or in connection with any of the activities set forth in this Subsection. Any establishment meeting the definition of an adult arcade is not an adult motion picture theater.
Child-care facility means a commercial establishment for daily care or instruction of children.
Church means any institution that people regularly attend to participate in or hold religious services, meetings and other activities. The term church shall not carry a secular connotation and shall include buildings in which the religious services of any denomination are held.
Lingerie modeling means private or group showings of lingerie that is modeled, but not at a one-time residential private party, but in a place of business, for any form of consideration. Such lingerie reveals specified anatomical areas.
Manager's station means a required area or areas, not exceeding thirty-two (32) square feet of floor area, that provides an unobstructed view, by direct line of sight, of each area of the premises to which any patron is permitted, excluding rest rooms.
Massage parlor means an establishment or place primarily in the business of providing massage services by a certified masseur or masseuse. Massage parlors are restricted to the hours of operation of 11:00 a.m. to 9:00 p.m.
Nudity or a state of nudity means the appearance of a human bare buttock, anus, male genitals, female genitals or female breast.
Obscene means a performance that:
a.
The average person, applying contemporary community standards, would find that taken as a whole appeals to the prurient interest in sex; and
b.
Depicts or describes:
1.
Patently offensive representations of ultimate sex acts, normal or perverted, actual or simulated, including sexual intercourse, sodomy and sexual bestiality; or
2.
Patently offensive representations of masturbation, excretory functions, sadism, masochism, lewd exhibition of the genitals, the male or female genitals in a state of sexual stimulation or arousal, or covered male genitals in a discernibly turgid state; and
c.
Taken as a whole, lacks serious literary, artistic, political or scientific value.
Patently offensive means so offensive on its face as to affront current community standards of tolerance.
Peep booth means a viewing room of less than one hundred fifty (150) square feet of floor space.
Performance means a play, motion picture, dance or other exhibition performed before an audience.
Public park means any area set aside by the Town for recreational use, open space or green belt area excluding officially designated trail corridors, including, but not limited to, officially designated pedestrian and bicycle paths.
Residential property means any area on the Town Zoning Map classified as a residential land use or any property or lot devoted to full-time residential use.
School means a facility that provides a curriculum of elementary and secondary academic instruction, including kindergartens, elementary schools, junior high schools and high schools.
Semi-nude means a state of dress in which clothing covers no more than the genitals, pubic region and areola of the female breast, as well as portions of the body covered by supporting straps or devices.
Sexual encounter center means a business or commercial enterprise that regularly offers, for any form of consideration, activities between male and female persons and/or persons of the same sex when one (1) or more of the persons is in a state of nudity or semi-nude. This definition does not apply to any actions in compliance with any treatment or examination of another person for a bonafide medical purpose when such treatment or examination is conducted in a manner substantially consistent with reasonable medical practices.
Specified anatomical areas means (a) less than completely and opaquely covered human genitals, pubic region, buttocks, anus or female breasts below a point immediately above the areola; or (b) human male genitals in a discernibly turgid state, even if completely and opaquely covered.
Specified sexual activities means (a) human genitals in a state of sexual stimulation or arousal; (b) acts of human masturbation, sexual intercourse or sodomy; and (c) fondling or other erotic touching of human genitals, pubic region, buttock or female breast.
(d)
Location of adult businesses.
(1)
It shall be unlawful to operate or cause to be operated an adult business in any location except as provided in the Zoning Ordinance. Such businesses must obtain a conditional use permit.
(2)
It shall be unlawful to operate or cause to be operated an adult business within one thousand (1,000) feet of:
a.
A church;
b.
A school or child care facility;
c.
A public park;
d.
A residential property.
(3)
It shall be unlawful to cause or permit the operation of an adult business within one thousand (1,000) feet of another adult business or a massage parlor as defined by this Article. The distance between any two (2) such businesses shall be measured in a straight line, without regard to intervening structures or objects, from the closest exterior wall of the structure in which the adult business is located.
(4)
It shall be unlawful to cause or permit the operation or maintenance of more than one (1) adult business in the same building, structure or portion thereof.
(5)
For the purpose of Subsection (2) of this Section, the distance between an adult business and the premises of a church, school, child care facility, public park or residential property, without regard to intervening structures, objects or Town limits, is from the closest exterior wall of the structure in which the adult business is located to the property line of such uses.
(6)
An adult business lawfully operating is not rendered a nonconforming use by the subsequent location of a church, school, child care facility, public park or residential property within one thousand (1,000) feet of the adult business; provided, however, that if the adult business ceases operation for a period of thirty (30) days or more regardless of any intent to resume operation, it may not recommence operation in that location.
(7)
Except for the period set forth in Subsection (6) above, each day of operation in violation of any provision of this Article shall constitute a separate offense.
(e)
License required; fee.
(1)
No person shall conduct an adult business without first having obtained a Type A or Type B adult business license, the fee for which is set forth in the fee schedule at Appendix A to this Code.
(2)
A Type A adult business license shall be required for all adult businesses where no fermented malt beverages or any malt, vinous or spirituous liquors are dispensed, consumed or sold.
(3)
A Type B adult business license shall be required for all establishments conducting an adult business where fermented malt beverages or any malt, vinous or spirituous liquors are dispensed, consumed or sold. Any such establishment shall also comply with all applicable requirements of Chapter 12, Article 46 or Article 47, C.R.S. and Chapter 2 of this Code.
(4)
In the event an application for an adult business license is withdrawn or denied, the license fee shall be refunded in full to the applicant.
(f)
License application.
(1)
All applicants for an adult business license shall file an application for such license with the Community Development Department on forms to be provided by the Community Development Department. Each individual applicant, partner of a partnership, officer, director and holder of ten percent (10%) or more of the corporate stock of the corporate applicant, and all managers of the proposed adult business, shall be named in each application form, and each of them shall be photographed and fingerprinted by the Police Department.
(2)
The completed application shall contain the following information and shall be accompanied by the following documents:
a.
If the applicant is:
1.
An individual, the individual shall state his or her legal name and any aliases and submit satisfactory proof that he or she is twenty-one (21) years of age and date of birth;
2.
A partnership, the partnership shall state its complete name, and the names of all partners, whether the partnership is general or limited, and a copy of the partnership agreement, if any;
3.
A corporation or limited liability corporation, the corporation shall state its complete name, the date of its incorporation, evidence that the corporation is in good standing under state statutes, or in the case of a foreign corporation, evidence that it is currently authorized to do business in the State, the names and capacity of all officers, of the registered corporate agent and the address of the registered office for service of process.
(3)
Whether the applicant or any other individual listed pursuant to Subsection (1) of this Section had a previous adult business license under this Chapter or from another municipality or county that was denied, suspended or revoked, including the name and location of the adult business for which the permit was denied, suspended or revoked, as well as the date of the denial, suspension or revocation and whether the applicant or any other individual listed pursuant to Subsection (1) of this Section has been a partner in a partnership or an officer, director or principal stockholder of a corporation that is permitted under this Chapter whose license has previously been denied, suspended or revoked, including the name and location of the adult business for which the license was denied, suspended or revoked as well as the date of denial, suspension or revocation.
(4)
Whether the applicant or any other individual listed pursuant to Subsection (1) of this Section holds any other license under this Chapter or holds a license issued under an adult business ordinance or regulation from another municipality or county and, if so, the names and locations of such other permitted businesses.
(5)
Whether the applicant or any other individual listed pursuant to Subsection (1) of this Section has been convicted of or pleaded nolo contendere to any crime involving pandering, prostitution, obscenity or any crime that is connected with operating another sexually oriented business, in any jurisdiction, within five (5) years from the date of conviction to the date of the application; and, if so, the crime involved, the date of conviction and the place of conviction.
(6)
The location of the proposed adult business, including a legal description of the property, street address and telephone and fax numbers, if any.
(7)
Proof of the applicant's ownership or other right to possession of the premises wherein the adult business will be conducted.
(8)
The applicant's mailing address and residential address.
(9)
The applicant's driver's license number, social security number and his or her federally issued tax identification number, if any.
(10)
A floor plan of the licensed premises which specifies the location and dimensions of the manager's station and demonstrates that there is an unobstructed view from at least one (1) of the manager's stations of every area of the premises to which any patron is permitted access for any purpose excluding rest rooms. The floor plan shall designate those rooms or other areas of the premises where patrons are not permitted and shall also designate the use of each room or other area of the premises. The floor plan need not be professionally prepared but must be drawn to a designated scale or drawn with marked dimensions of the interior of the premises to an accuracy of plus or minus six (6) inches. The diagram shall designate the place at which the license will be conspicuously posted and the location of any stage. A floor plan is not required of a licensed premises of an adult motel.
(11)
A current certificate of occupancy and straight-line drawing prepared, within thirty (30) days prior to the application, by a licensed land surveyor depicting the property lines and the structures containing any adult business or massage parlor within one thousand (1,000) feet of the closest exterior wall of the structure in which the applicant business will be located and depicting the property line of any church, school, child care facility, public park and residential property within one thousand (1,000) feet from the closest exterior wall of the structure in which the applicant business will be located.
(12)
Evidence from the Community Development Department that the proposed location of such business complies with the locational requirements of the Zoning Ordinance. The Community Development Department shall provide evidence of compliance or noncompliance with the Zoning Ordinance within ten (10) days of an applicant's request for such evidence.
(13)
If the applicant is an individual, he or she must sign the application for a license. If the applicant is other than an individual, each person who has a ten-percent or greater interest in the business must sign the application for a license. If a corporation is listed as owner of an adult business or as the entity which wishes to operate such a business, each individual having a ten-percent or greater interest in the corporation must sign the application for a license.
(14)
In the event that the Community Development Department determines that the applicant has improperly completed the application, he or she shall promptly notify the applicant of such fact and allow the applicant ten (10) days to properly complete the application. The time period for granting or denying a license shall be stayed during the period in which the applicant is allowed an opportunity to properly complete the application. For the purposes of this Chapter, the date the Community Development Department accepts an application which is complete in every detail and for which the application investigation required by Subsection (h) of this Section has been completed shall be the date the application is considered filed with the Community Development Department.
(15)
Applicants for a license under this Chapter shall have a continuing duty to promptly supplement application information required by this Section in the event that said information changes in any way from what is stated on the application. The failure to comply with said continuing duty within thirty (30) days from the date of such change, by supplementing the application on file with the Community Development Department, shall be grounds for suspension of an adult license.
(g)
Application fee. Each applicant, whether an individual, partnership or corporation, shall pay an application fee at the time of filing an application. Such application fee shall be nonrefundable and shall be in the amount set forth at Appendix A to this Code.
(h)
Investigation.
(1)
Within five (5) days of receipt of a properly completed application, together with all information required in connection therewith and the payment of the application and license fees, the Community Development Department shall transmit the photocopies of the application to the Police Department and the Building Official for investigation.
(2)
The Police Department shall be responsible for fingerprints and photographs and for investigation of the background of each individual applicant, the partners of a partnership or the officers, directors, holders of ten percent (10%) or more of the stock of a corporation and all managers of the proposed adult business. The investigation conducted by the Police Department shall verify the accuracy of all information required by Subsection (f) of this Section. Each applicant shall pay a nonrefundable investigation fee at the time the application is filed in the amount then charged by the State Department of Public Safety for each person who will be investigated. At the conclusion of its investigation, the Police Department shall indicate on the photocopy of the application whether the required information has been verified, date it and sign it.
(3)
The Building Official shall be responsible for ascertaining whether the application is in compliance with applicable building codes and ordinances. At the conclusion of its investigation, the Building Department shall indicate on the photocopy of the application whether it is in compliance, date it, sign it and, in the event of noncompliance, state the reasons therefor.
(4)
Each department shall complete its investigation and return the photocopy of the application to the Community Development Department within fifteen (15) days of the investigating department's receipt of the photocopy.
(i)
Action upon license.
(1)
The application shall be approved or denied by the Community Development Department within sixty (60) days of the date the application is filed with and accepted as complete by the Community Development Department. The Community Development Department shall deny a license if:
a.
Any individual applicant is under the age of twenty-one (21) years;
b.
The applicant has made a false statement upon the application or given false information in connection with an application;
c.
The applicant or any holder of ten percent (10%) or more of any class of stock, or a director, officer, partner or principal of the applicant has had an adult business license revoked or suspended anywhere within the State within one (1) year prior to the application;
d.
The applicant has operated an adult business which was determined to be a public nuisance under state law or this Code within one (1) year prior to the application;
e.
A corporate applicant is not in good standing or authorized to do business in the State;
f.
The applicant is overdue in payment to the Town or County of taxes, fees, fines or penalties assessed against him or her or imposed against him or her in relation to an adult business;
g.
An applicant is in violation of or is not in compliance with any of the provisions of this Chapter.
h.
An applicant or any other individual listed pursuant to Subsection (f) of this Section shall not have been convicted of or pleaded nolo contendere to any crime involving pandering, prostitution, obscenity or any other crime that is connected with operating another sexually oriented business, in any jurisdiction, within five (5) years from the date of the conviction to the date of the application.
(2)
In the event that the Community Development Department denies a license, it shall make written findings of fact stating the reasons for the denial and a copy of such decision shall be sent by certified mail to the applicant at the address shown in the application within ten (10) days after denial. An applicant shall have the right to appeal the denial at a hearing before the Town Manager, provided that written request for such a hearing shall be made to the Town Manager within thirty (30) days following the date of the denial of the license by the Community Development Department.
a.
At the hearing, the Town Manager shall hear such statements and consider such evidence as the Community Development Department, Police Department or other enforcement officers, the applicant, other party in interest or any other witness shall offer, which is relevant to the denial of the license application by the Community Development Department.
b.
If the Town Manager determines that the applicant is ineligible for a license per Subsection (1) above, he or she shall issue an order denying the application, within thirty (30) days after the hearing is concluded, based on findings of fact. A copy of the order shall be mailed by certified mail to the applicant at the address on the application. If the application is approved, it shall be approved by the Town Manager. It shall be issued and regulated pursuant to this Article.
c.
The order of the Town Manager made pursuant to Subparagraph (2) above shall be a final decision and may be appealed to the District Court pursuant to Colorado Rules of Civil Procedure 106(a)(4) or to the Silverthorne Municipal Court pursuant to this Subparagraph (2). Failure of an applicant to timely appeal said order constitutes a waiver of any right he or she may otherwise have to contest the denial of his or her license application.
1.
Notice of appeal to the Municipal Court must be filed within thirty (30) days of the Town's final decision.
2.
If the notice of appeal is accompanied by a motion and proposed order requiring certification of the record, the Municipal Court shall order the Town Manager or designee to file with the Clerk on a specified date, the record or such portion or transcript thereof as identified in the order, together with a certificate of authenticity. Both parties shall be given reasonable opportunity to file objections to the certified record. The cost of preparing the record shall be advanced and paid by the appealing party.
3.
Proceedings in the Municipal Court shall be expedited and a hearing conducted within sixty (60) days of the Court's receipt of notice of appeal. The Municipal Court shall issue written judgment within ten (10) days of the hearing.
4.
Review by the Municipal Court shall be limited to a determination of whether the Town Manager exceeded his or her jurisdiction or abused his or her discretion in denying the license application, based on the evidence in the record before the Town Manager.
5.
The Municipal Court proceedings shall be governed by the "Colorado Municipal Court Rules of Procedure" and the "Silverthorne Municipal Court Rules of Procedure."
6.
Judgment of the Municipal Court may be appealed pursuant to C.M.C.R. Rule 237.
(3)
No license shall be issued by the Community Development Department after approval of an application until the building in which the business is to be conducted is ready for occupancy with such furniture, fixtures and equipment in place as are necessary to comply with the provisions of this Chapter and all applicable building and fire code regulations, and then only after inspection of the premises has been made by the police and/or Building Official to determine that the applicant has complied with the plans and specifications submitted upon the application. Such inspection of the premises shall be made within ten (10) days after the Community Development Department receives written notification from the applicant that premises are in compliance with the submitted plans and specifications. If the licensed location has been inactive, without good cause, for at least one (1) year or if the building has not been constructed and placed in operation within two (2) years after approval of the license application, or construction of the building has not commenced within one (1) year after such approval, the Community Development Department in its discretion may revoke or elect not to issue or renew the license.
(j)
Term of the license. All licenses granted pursuant to this Chapter shall be for a term of one (1) year. Said term shall commence on January 1 of each year and terminate upon December 31 of the same year. Applications for a license filed at any other time during the year shall be treated the same as if they were filed January 1 of that year and shall terminate on December 31 of that same year, and no proration shall be permitted.
(k)
License renewal. Renewal of an existing license granted pursuant to this Chapter may be had by payment of the annual licensing fee and filing of a renewal application with the Community Development Department not less than forty-five (45) days prior to the date of expiration.
(l)
Suspension or revocation of license.
(1)
The Town Manager may suspend a license for a period of not to exceed six (6) months or revoke any license granted pursuant to this Chapter upon a finding of any of the following factors:
a.
That repeated disturbances of public peace have occurred within the licensed establishment or upon any parking areas, sidewalks, access ways or grounds within the neighborhood of the licensed establishment involving patrons, employees or the licensee;
b.
That the licensee or any employees thereof have illegally offered for sale or illegally allowed to be consumed or possessed upon the licensed premises, or upon any parking areas, sidewalks, walkways, access ways or grounds immediately adjacent to the licensed premises, narcotics, dangerous drugs, fermented malt beverages or any malt, vinous or spirituous liquors;
c.
That the licensee or manager or his or her designee is not upon the licensed premises at all times that adult entertainment is being provided;
d.
That adult entertainment was offered at the licensed establishment during hours prohibited by Subsection (o) of this Section;
e.
That the licensee, manager or employee has allowed patrons to engage in public displays of indecency in violation of Subsection (p) of this Section or has allowed patrons or employees to engage in acts of prostitution or negotiations for acts of prostitution within the licensed establishment or upon any parking areas, sidewalks, access ways or grounds immediately adjacent to the licensed establishment, when the licensee, manager or employee knew or should have known such displays or acts were taking place;
f.
That the licensee or manager made a false statement or gave false information in connection with an application for a license or a renewal of a license;
g.
That the licensee, manager or employee violated or permitted a violation of any provision of this Chapter including the standards of conduct set out in Subsection (p) herein;
h.
That the licensee, manager or any employee of the licensed establishment is under the age of twenty-one (21) years;
i.
That the licensee, in the case of a corporation, is not in good standing or authorized to do business in the State;
j.
That the licensee or an employee knowingly operated the adult business during a period of time when the adult business license was suspended;
k.
That the licensee is delinquent in payment to the Town or State for any taxes or fees past due;
l.
That the licensee, manager or employee has knowingly allowed any act of sexual intercourse, sodomy, oral copulation or masturbation to occur within the licensed premises;
m.
That a licensee or any other individual listed pursuant to Subsection (f)(1) of this Section has been convicted of or pleaded nolo contendere to any crime involving pandering, prostitution, obscenity or any other crime that is connected with operating another sexually oriented business, in any jurisdiction, within five (5) years from the date of the conviction to the date of the application; or
n.
That on two (2) or more occasions within a twelve-month period, a person or persons committed a crime, as specified in Subparagraph m above, or which a conviction or plea of nolo contendere has been obtained, and the person or persons were employees of the adult business at the time the offenses were committed.
(2)
Nothing in this Chapter shall prohibit the Town from taking any other enforcement action provided for by this Code, the laws of the State or of the United States.
(3)
A licensee shall be entitled to a hearing before the Town Manager if the Town seeks to suspend or revoke his or her license based on a violation of this Section.
a.
When there is probable cause to believe that a licensee has violated or permitted a violation of this Section to occur in or near the licensed establishment, a written complaint shall be filed with the Town Manager setting forth the circumstances of the violation.
b.
The Town Manager shall provide a copy of the complaint to the licensee, together with notice to appear for the purpose of a hearing on a specified date to show cause why the licensee's license should not be suspended or revoked.
c.
The hearing referred to above shall be conducted in accordance with the procedure set forth in Subsection (i) of this Section. If the Town Manager determines that a violation did occur, he or she shall issue an order suspending or revoking the license, within thirty (30) days after the hearing is concluded, based on the findings of fact. A copy of the order shall be mailed by certified mail to the licensee at the address on the license.
d.
In the event of suspension, revocation or cessation of business, no portion of the license fee shall be refunded.
e.
When a license has been revoked, the revocation shall continue for one (1) year, and the licensee shall not be issued an adult business license for one (1) year from the date on which revocation became effective. A new application shall be required at that time.
(m)
Display; transferability; change of ownership; change of corporate structure.
(1)
Any adult business license issued pursuant to the terms of this Chapter shall be prominently displayed at all times upon the premises for which the license was issued.
(2)
Licenses issued under this Chapter shall not be transferable except as provided herein. Any change in the partners of the partnership or in officers, directors or holders of ten percent (10%) or more of the stock of a corporate licensee holding an adult business license shall result in termination of the license of the partnership or corporation unless such licensee, within thirty (30) days of any such change, files a written notice of such change accompanied by the application fee and an investigation fee as required by Subsections (g) and (h) of this Section. Any such change shall be reported on forms provided by the Community Development Department and shall require the names of all new partners, officers, directors and all holders of ten percent (10%) or more of the corporate stock who were not previously holders of such amount of stock and any information as required by Subsection (f) of this Section. Approval or denial by the Community Development Department of such transfer shall be upon the same terms as provided for in this Chapter for the approval or denial of an adult business license.
(3)
When a license has been issued to a husband and wife or to general or limited partners, the death of a spouse or partner shall not require the surviving spouse or partner to obtain a new license. All rights and privileges granted under the original license shall continue in full force and effect as to such survivors for the balance of the license.
(4)
Each license issued under this Chapter is separate and distinct and no person shall exercise any of the privileges granted under any license other than that which he or she holds. A separate license shall be issued for each specific business or business entity and each geographical location.
(n)
Manager; change of manager.
(1)
A registered manager or his or her designee shall be on the premises of an adult business at all times that adult entertainment is being provided. It shall be unlawful for any person to work as a manager of an adult business without first registering with the Community Development Department. The registration form shall require the applicant to provide his or her legal name and any aliases, home address, telephone number and satisfactory proof that he or she is twenty-one (21) years of age.
(2)
In the event a licensee changes the manager of an adult business, the licensee shall immediately report such change and register the new manager on forms provided by the Community Development Department within ten (10) days of such change.
(o)
Time limits for entertainment. No adult entertainment shall be offered or provided in the following types of adult businesses at the following days and times:
(1)
Type A: prior to 12:00 noon or later than 12:00 midnight, or anytime on a Sunday.
(2)
Type B: prior to 12:00 noon or later than 2:00 a.m., or anytime on a Sunday.
(p)
Standards of conduct.
(1)
The following standards of conduct must be adhered to by employees of any adult business which offers, conducts or maintains live adult entertainment:
a.
No employee or entertainer mingling with the patrons or serving food or drinks shall be unclothed or in such attire, costume or clothing so as to expose to view any portion of the female breast below the top of the areola or of any portion of the pubic hair, anus, cleft of the buttocks, vulva or genitals or display male genitals in a discernibly turgid state even if completely and opaquely covered.
b.
No employee or entertainer shall encourage or knowingly permit any person upon the premises to touch, caress or fondle the breasts, buttocks, anus or genitals of any other person.
c.
No employee or entertainer shall wear or use any device or covering exposed to view, which simulates the breasts, genitals, anus, pubic hair or any portion thereof.
d.
State of dress.
1.
No employee or entertainer shall be unclothed or in such attire, costume or clothing so as to expose any portion of the female breasts below the top of the areola, or any portion of the pubic hair, anus, cleft of the buttocks, vulva or genitals of any person, except upon the stage at least eighteen (18) inches above the immediate floor level and removed at least six (6) feet from the nearest patron or behind a solid, uninterrupted physical barrier which completely separates the entertainer from any patrons. This barrier must be a minimum of one-fourth (¼) inch thick and have no openings between the entertainer and any patrons. The stage shall be fixed and immovable.
2.
No employee or entertainer shall perform while nude or semi-nude any obscene acts or obscene acts which simulate:
a)
Sexual intercourse, masturbation, sodomy, bestiality, oral copulation, flagellation or any sexual acts which are prohibited by law;
b)
The touching, caressing or fondling of the breasts, buttocks, anus or genitals.
e.
No employee or entertainer shall use artificial devices or inanimate objects to depict any of the prohibited activities described in this Section.
f.
There shall be posted and conspicuously displayed in the common areas of each place offering adult entertainment, a list of food and drink prices.
g.
Any tips for entertainers shall be placed by a patron into a tip box which is permanently affixed in the adult business and no tip may be handed directly to an entertainer. A licensee that desires to provide for such tips from its patrons shall establish one (1) or more containers to receive tips. Any physical contact between a patron and an entertainer is strictly prohibited.
h.
An adult business that provides tip boxes shall conspicuously display in the common area of the premises one (1) or more signs in letters at least one (1) inch high to read as follows:
"ADULT ENTERTAINMENT IS REGULATED BY THE TOWN OF SILVERTHORNE;
"All tips are to be placed in tip box and not handed directly to the entertainer.
"Any physical contact between the patron and the entertainer is strictly prohibited."
i.
No adult entertainment occurring on the premises shall be visible at any time from outside of the premises.
(2)
Any licensee who offers, conducts or maintains live adult entertainment or an adult arcade which exhibits, in a viewing room of less than one hundred fifty (150) square feet of floor space, a film, videocassette or other video reproduction, shall comply with the following requirements in addition to those set forth in Subsection (p) of this Section:
a.
It is the duty of the licensee of the premises to ensure that at least one (1) employee is on duty and situated in each manager's station at all times that any patron is present inside the premises.
b.
It is the duty of the licensee and operator of the premises to ensure that any doors to public areas on the premises remain unlocked during business hours.
c.
The interior of the premises shall be configured in such a manner that there is an unobstructed view from a manager's station of every area of the premises to which any patron is permitted access for any purpose, excluding rest rooms. Rest rooms may not contain video equipment. If the premises have two (2) or more manager's stations designed, then the interior of the premises shall be configured in such a manner that there is an unobstructed view of each area of the premises to which any patron is permitted access for any purposes, excluding rest rooms, from at least one (1) of the manager's stations. The view required in this Subsection must be by direct line of sight from the manager's station. A manager's station may not exceed thirty-two (32) square feet of floor area.
d.
No alteration to the configuration or location of a manager's station may be made without the prior approval of the Building Official.
e.
It shall be the duty of the licensee, and it shall also be the duty of any agents and employees present in the premises, to ensure that the view area specified in Subparagraph c above, remains unobstructed by any doors, curtains, drapes, walls, merchandise, display racks or other materials at all times and to ensure that no patron is permitted access to any area of the premises which has been designated as an area in which patrons will not be permitted in the license application filed pursuant to this Chapter.
f.
No viewing room may be occupied by more than one (1) person at any one (1) time.
g.
Viewing rooms must be separated from other viewing rooms by a solid, uninterrupted physical divider which is a minimum of one-fourth (¼) inch thick and serves to prevent physical contact between patrons.
(3)
Nothing in this Section shall be construed to permit any act on the premises of a Type B adult business license in violation of Chapter 12, Article 46 or Article 47, C.R.S., or the State Department of Revenue rules and regulations issued pursuant thereto.
(q)
Age restrictions. Admission to adult businesses is restricted to persons of the age of twenty-one (21) years or more during hours adult entertainment is being presented. This minimum age limitation also applies to any employees, agents, servants or independent contractors working on the premises.
(r)
Lighting requirements.
(1)
All off-street parking areas and premises entries of adult businesses shall be illuminated from dusk to closing hours of operation with a lighting system which provides an average maintained horizontal illumination of one (1) foot-candle of light on the parking surface and/or walkways. This required lighting level is established in order to provide sufficient illumination of the parking areas and walkways serving the adult business to help ensure the personal safety of patrons and employees and to reduce the incidence of vandalism and other criminal conduct.
(2)
The premises of all adult businesses, except adult motion picture theaters, shall be equipped with overhead lighting fixtures of sufficient intensity to illuminate every place to which patrons are permitted access to provide an illumination of not less than two (2) foot-candles of light as measured at the floor level.
(3)
Adult motion picture theaters shall be equipped with overhead lighting fixtures of sufficient intensity to illuminate every place to which patrons are permitted access to provide an illumination of not less than one (1) foot-candle of light as measured at the floor level.
(s)
Right of entry. The application for an adult business license shall constitute consent of the licensee and his or her agents or employees to permit the Police Department or any other agent of the Town to conduct routine inspections of any licensed adult business during the hours the establishment is conducting business.
(t)
Exemptions. It is an affirmative defense to prosecution under this Chapter if a person appearing in a state of nudity or semi-nudity did so in a modeling class operated:
(1)
By a proprietary school, licensed by the State; a college, junior college or university supported entirely or partly by taxation;
(2)
By a private college or university which maintains and operates educational programs in which credits are transferable to a college, junior college or university supported entirely or partly by taxation; or
(3)
In a structure:
a.
Which has no sign visible from the exterior of the structure and no other advertising that indicates a nude person is available for viewing; and
b.
Where, in order to participate in a class, a student must enroll at least three (3) days in advance of the class; or
c.
Where no more than one (1) nude model is on the premises at any one (1) time.
(Ord. 2003-20 §2)
Permitted accessory buildings, except garages and carports, shall not be set closer to the front street than the principal building on the lot. Permitted accessory buildings may be located in the required rear yard for the principal building, provided than not more than forty percent (40%) of the area of any required yard is eliminated.
(Ord. 2003-20 §2)
(a)
Construction office. One (1) temporary building to be used as a construction office may be located on the site upon which a building or development is under construction or specifically planned for a period of twelve (12) months. A twelve-month extension for such buildings may be issued by the Community Development Department provided that:
(1)
The temporary building is not used for living quarters.
(2)
No extension shall be granted in any residential zone.
(3)
A specific date for construction of a permanent building on the same site is anticipated.
(4)
No more than four (4) extensions shall be permitted.
(b)
Sales office. One (1) temporary building to be used for a sales office may be located on the site of a development project during the period of active sales, but not more than twelve (12) months. Twelve-month extensions for such buildings may be issued by the Community Development Department.
(Ord. 2003-20 §2)
Temporary and transient businesses, as defined at Article II of this Chapter, and including distributors, peddlers and solicitors as defined by Section 1-7-30 of this Code, may be conducted only within the C-1 and Riverfront Mixed Use Zone Districts and within any exclusively commercial planned unit development, and by special permission from the Recreation and Culture Department for parks and open space areas, subject to the following requirements:
(1)
The owner or operator shall have applied for and obtained a business license in the manner and as required by Chapter 1 of this Code.
(2)
Before conducting a tent sale, vending cart of farmers' market, the owner or operator shall make application to the Community Department for approval under Section 4-1-22.
a.
Tent sale.
1.
A tent sale may not extend for more than four (4) consecutive days. No more than one (1) tent sale allowed per year per licensed local merchant.
2.
Proof of ownership of property or permission of property owner required.
3.
A site plan must be submitted to the Community Development Department, which includes:
a)
EQR evaluation, including reference to temporary taps, porta potties, trash, water and sanitation.
b)
Sufficient parking, circulation and access.
c)
Picture of tent and other proposed temporary structures.
4.
Certificate of insurance from the merchant, naming the Town as additional insured in the event public lands or rights-of-way will be used, and permission from the Town for such use.
5.
Crowd control and fire department requirements shall be met.
b.
Vending cart.
1.
Temporary water or sewer taps, if required, must be approved by the Town.
2.
Signage must be permanently located on the cart itself or the canopy.
3.
Submission of site plan to the Community Development Department, addressing:
a)
EQR evaluation, including reference to temporary taps, porta potties, trash, water and sanitation.
b)
Pedestrian, circulation and access.
4.
Letter of long term intent required, committing to an operation of four (4) weeks minimum duration.
c.
Farmers' market. The applicant must provide, for approval by the Community Development Department, a description of the manner in which the following will be accomplished or guaranteed:
1.
Security.
2.
Trash.
3.
No on-site food preparation.
4.
Dust control.
5.
Community Development Department review of access.
6.
Signage.
(3)
In the event any of the foregoing conditions are not continuously maintained by the applicant, or in the event the applicant's business license expires without renewal or is revoked, the conduct of the temporary or transient business must also cease until such condition or license is reestablished to the satisfaction of the Town. Failure to maintain the conditions at Subsection (2) above shall be cause for revocation or suspension of the business license and shall be considered a violation of this Section.
(Ord. 2003-20 §2; Ord. 2008-3 §2)
(a)
Intent. The intent of the Town event permit is to ensure that any temporary changes, restrictions or adaptations regarding the use of property within the Town resulting from the conduct of an event (as defined in Section 4-2-1) are managed in a safe and legal manner to protect the health, safety and welfare of the citizens of the Town.
(b)
Events that exceed ten (10) days in length are considered a long-term land use, do not qualify for a permit under this Section and are required to comply with all applicable requirements of this Chapter regarding such land use.
(c)
Application. An event permit application is required to be submitted. Forms are available at the Town Recreation and Culture Department.
(d)
Event permit application fee. An event permit application fee is required with the submittal of the event permit application. The amount of the fee shall be as provided in the fee schedule in Appendix A to this Code.
(e)
Return of event permit application fee. Upon denial of any event permit application, the event permit application fee paid in advance shall be returned to the applicant. In the event that any event permit is revoked, all monies paid shall be and remain the monies of the Town, and no refund shall be made to any applicant.
(f)
Event permit fee exemptions.
(1)
Events sponsored by the Town are exempt from the permit fee.
(2)
Events sponsored by nonprofit organizations qualifying as charitable, pursuant to the federal Internal Revenue Code, are exempt from the permit fee.
(3)
The Town has the option of waiving the permit fee if the event is not directly related to commercial entities deriving revenues.
(g)
Event permit review process.
(1)
The applicant shall submit a complete event permit application and fee to the Recreation and Culture Department a minimum of ten (10) days prior to the event date.
(2)
If the Recreation and Culture Department determines the application to be complete, the application is forwarded to the following departments within the Town for review: Finance, Town Manager, Public Safety, Community Development and Public Works. The applicant will be notified by the individual department requiring more information or additional compliance. Any restrictions will be noted by departments on the review sheet, and the entire application may be held until compliance is obtained by the applicant in any single area of the entire application.
(3)
Once the review process has been completed, the Recreation and Culture Department will notify the applicant regarding approval or denial of the permit.
(h)
Grounds for denial. The Recreation and Culture Department may deny an event permit application or place conditions on any permit for any of the following reasons:
(1)
The submitted event permit is incomplete.
(2)
The Town has already received a permit application for another event for the date requested, or other timing conflicts.
(3)
The applicant's previous history of conducting an event has resulted in Town Code or public event permit violations.
(4)
The event permit is recommended for denial by a Town Department or fails to receive another required entity approval.
(i)
Revoking a permit. The event permit may be revoked at any time if Town Code or event permit violations occur during the approved event.
(Ord. 2003-20 §2; Ord. 2008-3 §3)
(a)
Intent. The purpose of this Section is to provide standards concerning nonconforming uses of land. Where at the time of the adoption of this Chapter or amendment thereof, lawful use of land exists which would not be permitted, the use may be continued so long as it remains otherwise lawful; provided:
(1)
No such nonconforming use shall be enlarged or increased, nor extended to occupy greater area of land than was occupied at the effective date of adoption or amendment of the ordinance rendering the use nonconforming;
(2)
No such nonconforming use shall be moved in whole or in part to any portion of the lot or parcel other than that occupied by such use at the effective date of adoption or amendment of the ordinance rendering the use nonconforming;
(3)
Whenever nonconforming use of land has been discontinued for any reason for a period of one (1) year, regardless of any intent to resume such use, such use or any other nonconforming use shall not thereafter be reestablished and any subsequent use of such land shall conform to the regulations specified by this Chapter for the zone district in which such land is located;
(4)
No additional structure, not conforming to the requirements of this Chapter, shall be erected in connection with such nonconforming use of land.
(b)
A nonconforming use shall not be changed to a use of a lower or less restrictive classification, but such nonconforming use may be changed to another use of the same or higher classification. Refer to Section 4-4-31 for more detail.
(Ord. 2003-20 §2)
Where a lawful structure exists at the effective date of adoption or amendment of the ordinance rendering the use nonconforming, that could not be built under the terms of this Chapter by reason of restrictions on area, lot coverage, height, location on the lot or other requirements concerning the structure, such structure may continue to exist so long as it remains otherwise lawful, subject to the following provisions:
(1)
No such nonconforming structure may be enlarged or altered in a way which increases its nonconformity, but any structure or portion thereof may be altered to decrease its nonconformity.
(2)
Should fifty percent (50%) or more of such nonconforming structures or nonconforming portion of a structure be damaged or destroyed by fire or any other calamity or means and not be repaired or replaced within one (1) year from the date of loss, it shall not be reconstructed except in conformity with the provisions of this Chapter.
(3)
Should such structure be moved for any reason for any distance whatever, it shall thereafter conform to the regulations for the zone district in which it is located after having been moved.
(4)
A structure housing a nonconforming use which has been damaged by fire or other causes outside the control of the owner, in extent not exceeding fifty percent (50%) of its assumed market value on the day before the calamity may be restored to conform to this Chapter provided that such work is commenced within one (1) year of such calamity.
(5)
Ordinary repairs and maintenance of a structure containing a nonconforming use shall be permitted.
(Ord. 2003-20 §2)
(a)
No lot or parcel of land, nor any interest therein, shall be transferred, conveyed, sold, subdivided or acquired either in whole or in part, so as to create a new nonconforming use, to avoid, circumvent or subvert any provision of this Chapter, or so as to leave remaining any lot or width or area below the requirements for a legal building site as described in this Chapter; nor shall any lot or portion of a lot required for a legal building site under the provisions of this Chapter be used as a portion of a lot required as a site for another structure.
(b)
No building permit shall be issued for any lot or parcel of land which has been transferred, conveyed, sold, subdivided or acquired in violation of this Section.
(c)
Any transferee who acquires a lot or parcel of land in violation of this Section without knowledge of such violation, and any subsequent transferee, shall have the right to rescind and/or receive damages from any transferor who violates the provisions of this Section.
(Ord. 2003-20 §2)
Whenever in this Chapter reference is made to a higher (or more restrictive) classification and lower (or less restrictive) classification of uses in providing that a nonconforming use may be converted to a higher but not a lower classification, uses shall be considered higher or lower according to the following sequence (highest to lowest): open space, agricultural, R-2, R-6, R-15, River Front Mixed Use, C-1 and C-2. PUDs will be determined by the uses permitted in the plan and guide.
(Ord. 2003-20 §2)
Sites lawfully established pursuant to regulations in effect prior to the effective date of the ordinance codified in this Chapter which do not conform to the minimum lot area and dimension requirements prescribed by this Chapter for the zone district in which they are situated may be continued and shall be deemed legally established building sites, subject to the site development standards prescribed by this Chapter. No such site shall be further reduced in area or dimension.
(Ord. 2003-20 §2)
(a)
Equine and ruminant animals are specifically allowed in the A-1 Agricultural District and in Planned Unit Development districts within which that use is specifically permitted.
(b)
Livestock.
(1)
Livestock are permitted in the A-1 Agricultural Zone Districts. Livestock are disallowed in all other zone districts within the Town.
(Ord. 2003-20 §2)
The intent of the (TC) Town Core Zone District is to establish a compact, urban area with uses, form, and amenities that contribute to a walkable downtown environment.
(1)
Permitted uses: Consult the use schedule at Section 4-4-17; provided that residential dwelling units are permitted as accessory uses in mixed-use structures only, and residential dwelling units are not permitted on the ground floor.
(2)
Lot frontage, minimum: none.
(3)
Lot area, minimum: none.
(4)
Lot coverage, maximum: none.
(5)
Building height, maximum: As set forth in the Design District Standards and Guidelines.
(6)
Front setback, minimum: none.
(7)
Side setback, minimum: none.
(8)
Rear setback, minimum: five (5) feet.
(9)
Maximum density (residential uses): The maximum number of residential dwelling units permitted per acre of land is sixteen (16), except as follows:
a.
Density Bonus: A density bonus is permitted in the Town Core Zone District if seventy-five percent (75%) of the bonus units are restricted as workforce or senior housing, subject to a deed restriction approved by the Town.
(10)
Development Standards. All development in the Town Core Zone District is subject to the standards in Chapter 4, Article VI, Site Plan, with the following exceptions:
a.
Section 4-6-10(e)4.m. - Parking Requirements, Location. In the Town Core Zone District, parking facilities for commercial and mixed-use buildings shall not be closer to the property line than five (5) feet. Driveways and drive aisles, when not shared with adjacent properties, shall not be closer to the property line than five (5) feet.
b.
Section 4-6-10(e)4.o. - Snow-stacking space. In the Town Core Zone District, the Community Development Director may allow a reduction in the minimum amount of required snow stacking space when an adequate snow melt system is constructed for any parking area.
c.
Section 4-6-11 (g)17. - Landscaping requirements. The Landscaping requirements in the Town Core Zone District shall be the same as those required for the Mixed Use, Government, Light Commercial Zone District, with a note that, in the Town Core Zone District, each landscape decorative element, including benches, picnic tables, gazebos, art forms or sculptures, shall be deemed to cover three hundred sixty (360) square feet of landscaping area, or the equivalent of three (3) trees, or the equivalent of eighteen (18) shrubs.
d.
Section 4-6-11(g)18. - Exceptions to landscaping requirements. In the Town Core Zone District, up to fifty percent (50%) of the required number of trees and shrubs may be substituted with alternative forms of landscaping and decorative elements, including benches, picnic tables, gazebos, art forms, sculptures, larger boulders, and planter boxes.
(Ord. 2016-01, §1; Ord. 2025-10, §3)
(a)
Purpose. Ensuring that there is available and affordable housing for the local workforce plays a critical role in supporting the economy, maintaining a thriving labor force, and sustaining the Town's vitality and quality of life. The intent of this section is to establish parameters related to the Town's Workforce Housing program.
(b)
Authority. The Community Development Department is authorized to oversee the construction and preservation of workforce housing units; administer programs to create and preserve workforce housing; and manage the inventory of workforce housing.
(c)
Reporting and Verification Requirements.
(1)
An owner of a deed restricted unit shall annually submit a sworn affidavit attesting to compliance with the terms of the governing deed restriction or housing covenant, Silverthorne Housing Guidelines, or this Code.
(2)
Upon reasonable request by the Town, any property owner subject to a Town deed restriction or housing covenant shall submit any information reasonably necessary to determine compliance with the restrictions or covenants.
(d)
Enforcement. The Community Development Department is authorized to enforce the requirements of this Section.
(e)
Notice, Fines, and Penalties. Failure to comply with the requirements of this Section or this Code may result in the following notices, fines, and penalties:
(1)
Written notice of an administrative penalty shall be provided by first class United States mail to a person at such person's last known address.
(2)
A first warning shall be issued prior to imposing fines or penalties in accordance with this Section.
(3)
Failure to comply with a deed restriction or housing covenant shall be punishable by an administrative penalty or fine.
(4)
Failure to file an annual verification affidavit or respond to a request for compliance information from the Town shall be punishable by an administrative penalty or fine.
(5)
Failure to comply with occupancy or employment covenants in any deed or restrictive housing covenant may result in limitations on housing sale appreciation amounts.
(6)
Fines and penalties under this Section are cumulative.
(Ord. 2023-26 §1)
CHAPTER 4
Community Development
Zoning Districts and Standards
The boundaries of zone districts and their application throughout the Town as established hereby shall be shown on a map entitled "Zoning District Map of the Town of Silverthorne." This map and all notations, references and data shown thereon are by reference hereby made a part of this Chapter. The Town Council shall control the boundaries, and locations of the districts may be amended by the Town Council from time to time by ordinance.
(Ord. 2003-20 §2)
(a)
Unless otherwise provided, zone district boundaries shall be on municipal corporate lines, section lines, lot lines, natural boundary lines or on the center lines of highways, streets, alleys, railroad rights-of-way or such lines extended. In cases where such lines are not used, the zone district lines shall be as determined by using the scale of the Zoning District Map.
(b)
Where a lot in an approved subdivision is divided by a zoning district boundary line at the time of enactment of this Chapter or by subsequent amendments thereto, the less restrictive zone requirements may be extended within the lot into the more restrictive zoning district for a distance of not more than fifty (50) feet or to a point within ten (10) feet of the line of the lot which is in the more restrictive district, whichever is less.
(c)
Disputes concerning the exact location of any zone district boundary line shall be decided by the Town Council.
(Ord. 2003-20 §2)
For areas zoned PUD - Planned Unit Development, the development guides and development plans incorporated into the ordinance establishing the zoning are hereby incorporated into and made a part of this Article. Whenever such guides or plans do not address a particular topic, situation or issue, the provisions of this Article shall apply.
(Ord. 2003-20 §2)
(a)
Intent. General requirements and exceptions shall provide for special case considerations applicable to this Chapter.
(b)
Minimum area and width of lot.
(1)
No part of the area or width of a lot required for the purpose of complying with the provisions of this Chapter shall be included as part of the area or width required for another lot.
(2)
The minimum area and width limitations in this Article shall not apply to utility service facilities. Area and width limitations for major facilities of a public utility shall be addressed as conditional use review following the procedures contained in Section 4-4-19 of this Article.
(c)
Minimum yards.
(1)
Cornices, canopies, eaves, fireplaces, wing walls or similar architectural features may extend into a required yard setback not more than three (3) feet, but in no case closer than three (3) feet to any lot line.
(2)
Fire escapes may extend into a required yard setback not more than six (6) feet.
(3)
Open, unenclosed, uncovered patios, decks and porches greater than four (4) feet above ground level shall not extend into a required front or rear yard setback more than three (3) feet. All side yard setback requirements must be met. Covered, enclosed patios, decks and porches cannot encroach into a front or rear yard setback. No encroachments into utility easements shall be permitted.
(4)
Whenever a lot adjoins street frontage, the front yard setback requirement shall apply to those lot lines.
(5)
No part of a yard required for a building for the purpose of complying with the provisions of this Chapter shall be included as part of a yard for another building.
(d)
Maximum height of buildings.
(1)
The height limitations of this Chapter shall not apply to church spires, belfries, cupolas, penthouses or domes not used for human occupancy, to chimneys, ventilators, skylights, water tanks, silos, antennas, utility poles and necessary mechanical appurtenances usually carried above the roof level. However, the height of antennas used for microwave receiving dishes and noncommercial purposes, such as ham radio, television or citizen bands, shall be no greater than the distance to the nearest property line.
(2)
It shall be unlawful to construct, build, establish or continue to maintain any building, tree, smoke stack, chimney, flag pole, wires, tower or other structure or appurtenance thereto which may constitute a hazard or obstruction to the safe navigation, landing and take-off of aircraft at a publicly used airport under the regulation of the appropriate United States Civil Aeronautics Authority, in compliance with this Article.
(3)
All dwellings and structures shall be constructed in accordance with all applicable Town regulations and the International Building Code as adopted by the Town.
(4)
Underground housing may be allowed subject to meeting all applicable Town regulations and site plan approval. No underground construction shall be allowed to encroach within designated easements or required setbacks from adjoining property lines without Town approval.
(e)
Fences, hedges and walls. Fences, hedges and walls shall be permitted in all districts and do not have to comply with the minimum setbacks of the zone district in which they are located if the following regulations are complied with:
(1)
Fences, hedges and walls shall not exceed thirty (30) inches in height within sight triangles on corner lots consistent with the Town of Silverthorne Engineering Standards.
(2)
Fences, hedges and walls in residential areas shall not exceed seven (7) feet in height in a rear or side yard, and shall not exceed four (4) feet in height when located in required front yards. Fence, hedge, or wall heights shall be measured from existing natural grade at the base to the highest point of the fence, hedge, or wall.
(3)
Fences and walls shall be constructed of natural materials, including wood, rock, or stone whenever practical.
(f)
Except where private roads are proposed in which a special district or some other duly established entity (recognized by the Town Council) has agreed in writing to maintain the road in perpetuity, land proposed for rezoning or site plan approval shall have access to a publicly dedicated right-of-way.
(g)
Trash, junk, inoperable vehicles. No land may be used as an outside storage area for the purpose of collecting, dismantling, storing or selling of junk, trash, rubbish, refuse of any kind, remnants of wood, metal or plastic, discarded material, inoperative vehicles or dismantled machinery, whether or not the same could be put to any reasonable use. Refuse shall not be stored for a period exceeding thirty (30) consecutive days.
(h)
Permanent landscape features and structures are not permitted within utility easements, including trees, retaining walls, hot tubs, and sheds, except on a case-by-case basis, as determined by the Community Development Department. Any landscape feature or structure placed within a utility easement may be removed by the utility provider without replacement.
(Ord. 2003-20 §2; Ord. 2019-05, § 1; Ord. 2025-10, §2)
The A-1 Agricultural Zone District consists of area used primarily for agricultural or ranching uses, but also including residential uses.
(1)
Permitted uses: consult the use schedule at Section 4-4-17.
(2)
Lot frontage, minimum: two hundred (200) feet.
(3)
Lot area, minimum: two (2) acres.
(4)
Lot coverage, maximum: ten percent (10%).
(5)
Building height, maximum: twenty-five (25) feet.
(6)
Front setback, minimum:
a.
Major highway: one hundred (100) feet.
b.
Primary county road: fifty (50) feet.
c.
Collector street: forty (40) feet.
d.
Local street: thirty (30) feet.
(7)
Side setback, minimum: twenty-five (25) feet.
(8)
Rear setback, minimum: twenty-five (25) feet.
(Ord. 2003-20 §2)
The R-2 Residential Zone District consists of area used for long-term residential purposes at an average density of two (2) units per acre.
(1)
Permitted uses: consult the use schedule at Section 4-4-17.
(2)
Lot frontage, minimum: one hundred (100) feet.
(3)
Lot area, minimum, per unit: twenty-one thousand (21,000) square feet.
(4)
Lot coverage, maximum: twenty percent (20%).
(5)
Building height, maximum: twenty-five (25) feet.
(6)
Front setback, minimum:
a.
Major highway: thirty-five (35) feet.
b.
Primary county road: twenty-five (25) feet.
c.
Collector street: twenty (20) feet.
d.
Local street: twenty (20) feet.
(7)
Side setback, minimum: ten (10) feet.
(8)
Rear setback, minimum: twenty-five (25) feet.
(Ord. 2003-20 §2)
The R-6 Residential Zone District consists of area used for long-term residential purposes at an average density of six (6) units per acre.
(1)
Permitted uses: consult the use schedule at Section 4-4-17.
(2)
Lot frontage, minimum: seventy (70) feet.
(3)
Lot area, minimum, per single-family unit: seven thousand two hundred (7,200) square feet; per duplex structure: fourteen thousand (14,000) square feet; per triplex structure: twenty thousand (20,000) square feet; each additional dwelling unit within the same structure: six thousand (6,000) square feet.
(4)
Lot coverage, maximum: thirty percent (30%).
(5)
Building height, maximum: twenty-five (25) feet.
(6)
Front setback, minimum:
a.
Major highway: thirty-five (35) feet.
b.
Primary county road: twenty-five (25) feet.
c.
Collector street: twenty (20) feet.
d.
Local street: twenty (20) feet.
(7)
Side setback, minimum: ten (10) feet.
(8)
Rear setback, minimum: twenty (20) feet.
(Ord. 2003-20 §2)
The R-15 Residential Zone District consists of area used for long-term residential purposes at an average density of fifteen (15) units per acre.
(1)
Permitted uses: consult the use schedule at Section 4-4-17.
(2)
Single-family and duplex dwelling standards:
a.
Lot frontage, minimum: seventy (70) feet.
b.
Lot area, minimum, per single-family structure: seven thousand two hundred (7,200) square feet; per duplex structure: fourteen thousand (14,000) square feet.
c.
Lot coverage, maximum: thirty percent (30%).
d.
Building height, maximum: twenty-five (25) feet.
e.
Front setback, minimum:
1.
Major highway: thirty-five (35) feet.
2.
Primary county road: twenty-five (25) feet.
3.
Collector street: twenty (20) feet.
4.
Local street: twenty (20) feet.
f.
Side setback, minimum: ten (10) feet.
g.
Rear setback, minimum: twenty (20) feet.
(3)
Multifamily dwelling standards:
a.
Lot area, minimum, per triplex structure: twenty thousand (20,000) square feet; each additional dwelling unit within the same structure: six thousand (6,000) square feet.
b.
Lot coverage, maximum: thirty percent (30%).
c.
Building height, maximum: thirty-five (35) feet.
d.
Front setback, minimum:
1.
Major highway: thirty-five (35) feet.
2.
Primary county road: twenty (20) feet.
3.
Collector street: twenty (20) feet.
4.
Local street: twenty (20) feet.
e.
Side setback, minimum: ten (10) feet.
f.
Rear setback, minimum: twenty (20) feet.
(Ord. 2003-20 §2)
The intent of the C-1 Light Commercial Zone District is to allow for sales and service facilities and establishments which conduct all activities inside and may require outside display, some outside servicing and/or secured storage for large merchandise.
(1)
Permitted uses: Consult the use schedule in Section 4-4-17.
(2)
Lot frontage, minimum: none.
(3)
Lot area, minimum: none.
(4)
Lot coverage, maximum: sixty percent (60%).
(5)
Maximum building height shall be as stated and described in the Design District Standards.
(6)
Front setback, minimum.
a.
Major highway: twenty (20) feet.
b.
Primary county road: fifteen (15) feet.
c.
Collector street: ten (10) feet.
d.
Local street: ten (10) feet.
(7)
Side setback, minimum: none, except where abutting a residential zone district, in which case it shall be the same as for the residential district abutting, except that such lack of required side setback shall not be construed as preventing the Town from requiring access for emergency equipment in accordance with state law or regulation or Town ordinance or regulation. Such required access may cause the structure to be set back from the side lot line. Any corner lot located in the Commercial I (C-1) Zone District shall be required to have, on the side abutting a road, a side or rear setback equivalent to the front setback normally required for the street abutting the side or rear lot line in that zone district.
(8)
Rear setback, minimum: ten (10) feet.
(Ord. 2003-20 §2; Ord. 2008-11 §1)
The intent of the C-2 Heavy Commercial Zone District is to provide for uses which do not require visibility from main thoroughfares, are fairly self-contained operations and are likely to have large vehicles associated with a service or production operation.
(1)
Permitted uses: Consult the use schedule in Section 4-4-17.
(2)
Lot frontage, minimum: none.
(3)
Lot area, minimum: none.
(4)
Maximum building height shall be as stated and described in the Design District Standards.
(5)
Front setback, minimum:
a.
Major highway: twenty (20) feet.
b.
Principal county road: fifteen (15) feet.
c.
Collector street: ten (10) feet.
d.
Local street: ten (10) feet.
(6)
Side setback: none, except where abutting a residential zone district, in which case it shall be the same as for the residential district abutting, except that such lack of required side setback shall not be construed as preventing the Town from requiring access for emergency equipment in accordance with state law or regulation or Town ordinance or regulation. Such required access may cause the structure to be set back from the side lot line. Any corner lot located in the Commercial II (C-2) Zone District shall be required to have, on the side abutting a road, a side or rear setback equivalent to the front setback normally required for the street abutting the side or rear lot line in that zone district.
(7)
Rear setback, minimum: ten (10) feet.
(Ord. 2003-20 §2: Ord. 2008-11 §2)
Consult the use schedule in Section 4-4-17.
(Ord. 2003-20 §2)
Consult the use schedule in Section 4-4-17.
(Ord. 2003-20 §2)
(a)
Statement of concept of riverfront zoning.
(1)
The Blue River is the center and principal attraction of the Town. The Riverfront Zone District is intended to promote the Blue River as the central image of the Town. All site development proposals shall use and promote the intrinsic characteristics of the river and the riverfront property. High density residential development that may be mixed with appropriate commercial uses is desired in the Riverfront Zone District. The Riverfront District should be attractive to residents and visitors.
(2)
Each site development should be attractive from both the river and the Town Right-of-Way. The Town encourages pedestrian friendly settings in the Riverfront Zone District. Access should be obvious to a pedestrian from either the street or the river. Both new residential and business uses should provide outdoor open space on the riverside. Site design and landscape should be attractively and carefully planned.
(3)
The intent of the Riverfront District is to provide a transition from the commercial areas to the south and the residential areas to the north. The Riverfront Zone District is envisioned as a high density residential area with distinct character and a strong relationship to the Blue River. Development on either side of the river shall provide a pedestrian pathway paralleling the Blue River and connecting with adjacent pedestrian paths.
(4)
The Town encourages high quality development in the Riverfront Zone District that provides a variety of architectural elements that avoid featureless design and uninterrupted repetition of building materials. Building massing, form, length and proportions shall be designed to provide variety of visual interest while maintaining a human scale that is appropriate.
(5)
The provisions of this Section only apply to new development or major redevelopment of property within the Riverfront Zone District. Existing and non-conforming uses may continue as long as they remain otherwise lawful.
(a)
Permitted uses: consult the use schedule at Section 4-4-17.
(b)
Lot frontage, minimum: one hundred (100) feet.
(c)
Lot coverage, maximum sixty percent (60%) of total lot area.
(d)
Front setback, for fifty percent (50%) of the lot frontage, a zero (0) setback is permitted, for the remaining fifty percent (50%) of the lot frontage, a minimum five (5) foot setback is required.
(e)
Side setback, at least five (5) feet from all property lines not abutting the river or street.
(f)
River setback, twenty-five (25) feet measured from the upper bank of the Blue River.
(g)
The maximum building height shall be as stated and described in the Design District Standards and Guidelines.
(h)
Access pathway. There must be a convenient and safe pedestrian path, finished with a surface suitable for walking, at least six (6) feet in width from the side of the site development facing away from the river, through or around buildings, to the riverfront pathway
(i)
Dwelling Unit Density. The maximum number of residential dwelling units permitted per acre of land is twenty-five (25).
(j)
Path connections. All site development adjacent to the Blue River shall provide a twenty-five-foot pedestrian path easement within the minimum setback, from the top of the bank of the Blue River. The developer shall construct the pedestrian path according to the Town Parks, Trails, and Open Space Master Plan and in conformance with Section 4-5-16. All site development shall also provide a continuous six (6) foot concrete sidewalk the length of the property within the Highway 9 right-of-way.
(Ord. 2003-20 §2; Ord. 2008-10 §1; Ord. 2008-11 §3; Ord. 2015-06, §1)
(a)
Purpose. The purpose of Planned Unit Development in the Town is to encourage flexibility, creativity and innovative approaches in the development of land, to promote its appropriate and intrinsic uses, to enhance the design, character and quality of new development, to maximize the efficient use of land, to facilitate the harmonious growth of the Town, to preserve the natural and scenic features of open and wooded areas and to understand and respect the physiographic limitations of the environment. The permitted uses may include any use permitted in any zone district. However, the uses allowed shall be determined upon submission and approval of the formal application.
(b)
General requirements:
Description of the PUD process:
(1)
Preapplication conference, Subsection (e) below, is the first step in the PUD process. The preapplication conference is intended to provide the applicant with a means of understanding regulations, policies and procedures prior to making a formal submission.
(2)
Preliminary Plan and Final PUD. The two (2) steps required to obtain approval of a PUD are: (1) Preliminary Plan - a review at a preliminary level includes proposed land uses, location of density, location of geologic hazards, identification of environmentally sensitive areas, location of wildlife habitat areas, location of parks, open space, sources of required services, vehicular and pedestrian circulation, detail review of development of guidelines, and conformance with the Town Comprehensive Plan and other approved master plans; and (2) Final PUD - a review of all Final plans and guide. Each step is an individual review process and may not be combined at any step.
(3)
Each step is a distinct process. Preliminary Plan and Final PUD processes involve the submittal of an application, an application fee, required plans and reports, referrals of the proposal to other agencies and public hearings/meetings. At each step of the process, the level of design and engineering increases in order to relieve the applicant from major and potentially unnecessary expenses in situations that may require a redesign and therefore, a revision of expensive engineering or planning reports. Approval of the Preliminary Plan does not ensure approval of the Final PUD.
(4)
Alterations of approved development plan. The PUD Plan and PUD development guide, as approved by the Town Council, shall be binding and shall not be altered during the construction of the Planned Unit Development, except as hereinafter set forth.
a.
Minor amendment. Minor alterations in locations, siting, alignments, bulk of structures, placement or types of plant material, changes in grades, heights or character of structures or other similar alterations must be reviewed by the Community Development Department, in accordance with Section 4-1-22 if required by circumstances not foreseen at the time the Final development plan was approved.
b.
Major amendment. All other alterations in use, intent, rearrangement of lots, realignment of major circulation patterns, density levels, provisions governing common or open spaces or the ratio thereof, or any other alterations that substantially change the Planned Unit Development must be reviewed as a major amendment. Major amendments shall follow the review process in Section 4-1-22 for major PUD amendments, requiring a Preapplication and Final review. The same type and quality of data shall be required as for the original and final approval and passage.
(5)
Applicant's responsibility. The applicant or representative is responsible for understanding the requirements and procedures contained in this Article, the Town Comprehensive Plan and all other applicable Town plans and ordinances, and is responsible for attending all Planning Commission and Town Council hearings/meetings at which the request is considered. Failure to attend the hearings/meetings may result in the request being denied or tabled and a new hearing/meeting date scheduled. The applicant is responsible for submitting the information requested by staff for the review of the proposal.
(6)
Additional reviews fees. The applicant shall be responsible for payment of reasonable review fees as established under Appendix A of this Code.
(7)
Withdrawal of application. The applicant may withdraw an application at any phase of the process upon submittal of a written request to the Community Development Department.
(8)
Inactive files. Any application for a PUD that becomes inactive, whereby the applicant is required to submit additional information or request a hearing date and has failed to do so, for a period of more than six (6) months, shall become void, and the resubmittal of a new application and fees shall be required to pursue the PUD request. The Community Development Director may grant no more than two (2) extensions of time, of no more than three (3) months each, upon a written request by the applicant. After five (5) months, the staff planner shall notify the applicant in writing that the application will become void within thirty (30) days. After thirty (30) days, provided the applicant has not submitted the required additional information or requested a hearing date, the staff planner shall notify the applicant in writing that the application is void. This provision shall apply to all applications on file with the Town upon the effective date of adoption and any application thereafter.
(c)
Density and yard requirements.
(1)
Density. For proposals which will not rely upon existing zoned density, if any, density will be determined upon submission and approval of the Final PUD plan and guide. The applicant shall be responsible for justifying the proposed density level in terms of land planning and physiographic data. The Town shall use the underlying zoning as a guide to suggest such densities.
(2)
Yard requirements. Yard requirements will be determined upon submission and approval of the Final PUD plan and guide. The applicant shall be responsible for justifying the proposed yard requirements in terms of land planning and fire safety.
(3)
Height requirements. The maximum height of structures must be approved by the Town Council upon review of each Planned Unit Development in relation to the following factors:
a.
Geographical position.
b.
The probable effect on surrounding slopes and hills.
c.
Adverse visual effects upon adjoining property owners, other areas of a Planned Unit Development, public lands or public rights-of-way.
d.
Potential problems for adjacent sites caused by shade, shadows, loss of air circulation or loss of view.
e.
Surrounding traffic conditions and lines of sight.
f.
Uses within each building.
(d)
PUD Plan and Guide.
(1)
All Planned Unit Developments shall submit a development guide which establishes the standards, variations and requirements for the development which may be divergent from the standards of this Chapter. Those conditions established by the development guide and approved by the Town Council shall be recorded and utilized for development and review of the project.
(2)
In connection with any approval or conditional approval of a Planned Unit Development or amendment thereto, without the necessity of an application to the Board of Adjustment under Article I, Division 4 of this Chapter, the Town may permit variances to height, setback, yard and other requirements (but not in excess of the number or kind of variance which would otherwise be permitted by the Board of Adjustment), to be approved as part of any approved Planned Unit Development, or amendment thereto. An approved PUD may vary or waive any requirement of this Chapter, only to the extent such varied or waived condition is recognized in the approved PUD Plan and/or PUD Guide.
(3)
In the event the property is not already zoned PUD, an ordinance shall accompany the Final PUD application. Approval of the Final PUD application shall include first and second reading approval of the ordinance. Upon approval of the PUD, the PUD Plan and Guide shall be filed with the Town Clerk as a matter of public record, a copy of the PUD Plan and Guide shall also be recorded at the Clerk and Recorder Office, and the Zoning District Map shall be amended to show the property as zoned "PUD." The applicant shall provide a reproducible Mylar of all PUD plans at a scale acceptable to the Town, submitted as part of the Final development plan, and shall make such submission within thirty (30) days following final approval. The Official Zoning District Map shall, upon such filing, be deemed to include the new Planned Unit Development District designation and the map upgraded accordingly.
(e)
Preapplication conference.
(1)
Intent. This stage of review is designed to provide the applicant with a means of understanding regulations, policies and procedures prior to any formal submission and to learn whom to contact and work with in the process. The Community Development Department will arrange for any joint meetings with other offices/departments, when appropriate, so that discussion of a proposal can occur at one (1) time with the applicant rather than having meetings occur at separate times with each person or department involved.
(2)
Procedure.
a.
The applicant should make an appointment with the Community Development Department. The Community Development Department should be provided with some information to determine whether or not other departments need to be involved in the initial discussion.
b.
The Community Development Department would then arrange for an informal meeting, so that the applicant can discuss the proposal.
c.
The informal meeting would be held with the applicant providing a brief presentation of the proposal to those present. The goal is then to have a constructive dialogue occur and for the applicant to receive some guidance with respect to a formal application to the Town at a later time.
d.
Should the applicant decide to proceed further, formal submission of a complete application, based upon the recommendation of the Community Development Department, Town regulations and the applicant's desires, should then occur.
(f)
PUD Preliminary Plan.
(1)
Intent.
a.
The intent of the PUD Preliminary Plan is to examine the feasibility of a project, including review of the proposed design, proposed land uses, location of density, location of geologic hazards, identification of environmentally sensitive areas, wetlands and wildlife habitat areas and conformance with the Town Comprehensive Plan, other applicable master plans, zoning requirements and requirements of this Article. The Preliminary Plan shall include a Preliminary PUD Plan and Guide.
b.
The intent of the Preliminary Plan is to provide a detailed layout of the PUD. Applicants are required to provide existing and proposed man-made and natural features that are within one hundred (100) feet immediately adjacent to the proposed PUD. The PUD Plan shall include but not be limited to all road connections, pedestrian and open space connections, adjacent property lines, park facilities and utility extensions.
(2)
Review process.
a.
The applicant shall submit one (1) copy of a complete application to the Community Development Department.
b.
The submittal shall be reviewed for completeness within ten (10) working days. The applicant shall be notified of any deficiencies. An incomplete submittal shall not be processed.
c.
Once the submittal is determined complete, staff will notify the applicant of the number of copies of the Preliminary Plan application required to be submitted for distribution to referral agencies. Referral packets, with all plan exhibits folded to 9" x 12", shall be provided by the applicant to the Community Development Department. Planning staff shall distribute the referral packets. The applicant shall distribute any revised plans, as required by staff.
d.
All Preliminary Plan applications may be submitted to Town departments and other review agencies for review and comment if, in the opinion of the Community Development Department, the agency may be affected by the application or if comments by the agency will ensure a thorough analysis of the application. A list of review agencies is maintained and available at the Community Development Department.
e.
Referral agencies shall comment in writing within twenty-five (25) days of receiving a complete submittal. The Community Development Department shall forward referral comments to the applicant in a timely manner. The failure of any agency to respond within twenty-five (25) days shall, for the purpose of the meeting, be considered no comment on the plan by that agency. The applicant is encouraged to meet with the planning staff, referral agencies and other interested parties to address any concerns.
f.
The staff planner will review the referral comments and discuss the concerns with the applicant. The applicant shall address each issue identified by the referral agencies and revise the plan as needed. The revised plan shall respond to all technical and/or regulatory requirements of the referral agencies and shall include a narrative that addresses each revision or response. Referral agencies shall comment in writing within fifteen (15) days of receiving the revised plan. Should subsequent revisions be required, each revision shall follow the process described herein.
g.
Once all issues have been satisfactorily addressed, the staff planner shall notify the applicant of the scheduled meeting date and time and prepare a staff report for the Planning Commission.
h.
The Town is responsible for providing public notice prior to the Planning Commission meeting in compliance with the public notice requirements in Article VII of this Chapter.
i.
A public community meeting shall be held by the applicant for review by the public prior to the Planning Commission hearing. This meeting will require a public notice and notification of all property owners within two hundred (200) feet of said property. Notice of the community meeting shall be published one (1) time in a newspaper of general circulation, and such notice will be placed in the "Public Notice" section of that newspaper and a minimum display ad no less than two (2) inches by two and one-half (2.5) inches. Public notice must be published at least seven (7) days prior to the scheduled community meeting, and property owner notification must be mailed first-class, at least ten (10) days prior to the scheduled community meeting.
j.
The Planning Commission shall evaluate the application, referral comments, staff report and public testimony, and make a recommendation to the Town Council to approve, approve with conditions, continue for additional information or further study or deny the Preliminary Plan. The burden shall be on the applicant to present sufficient evidence that the criteria contained in Paragraph (f)(3) of this Section have been satisfied. The Planning Commission's recommendation shall be based on the evidence presented and compliance with the criteria for the Preliminary Plan described in Paragraph (f)(3) of this Section.
k.
Following the recommendation by the Planning Commission, the staff planner will schedule the Preliminary Plan for a meeting with the Town Council and notify the applicant of the meeting date and time.
l.
The Town shall be responsible for providing public notice prior to the Town Council meeting in compliance with the public notice requirements in Article VII of this Chapter.
m.
The Town Council shall evaluate the Preliminary Plan, referral agency comments, staff report, the Planning Commission recommendation and public testimony, and shall approve, conditionally approve, continue for additional information or for further study, remand to the Planning Commission or deny the Preliminary Plan. The burden shall be on the applicant to present sufficient evidence that the criteria contained in Paragraph (f)(3) of this Section have been satisfied. The Town Council's action shall be based on the evidence presented and compliance with the criteria for a Preliminary Plan described in Paragraph (f)(3) of this Section.
(3)
Criteria for approval of a Preliminary Plan. The Preliminary Plan may be approved if it complies with all of the following standards:
a.
General conformity with the Comprehensive Plan and other Town master plans and standards. The proposed PUD is consistent with the goals and policies of the Town Comprehensive Plan.
b.
Consistency with Chapter 4 of this Code and other applicable standards established by the Town. The proposed PUD complies with this Section and all other applicable provisions of this Article.
(4)
General Preliminary Plan submittal requirements:
a.
Completed application.
b.
Pass-thru fee application.
c.
A copy of the recorded deed and title commitment or updated title commitment current within thirty (30) days of submittal.
d.
A notarized letter of authorization from the landowner permitting a representative to process the application.
e.
A narrative outlining the proposal.
f.
Preliminary PUD Plan exhibit (described in Paragraph (f)(5) of this Section).
g.
Preliminary PUD Development Guide (described in Paragraph (f)(6) of this Section).
h.
Development reports and plans (described in Paragraph (f)(7) of this Section).
(5)
Preliminary Plan exhibit.
a.
The PUD plan exhibit shall be prepared on 24" x 36" paper at a scale of 1" = 100', 1" = 200' or another size and/or scale approved by the Community Development Director.
b.
The title shall be placed at the top of the sheet along the long dimension of each sheet and shall include the name of the proposed PUD. A general legal description stating the aliquot portion of the section, township, range, 6th P.M., shall be included under the name and planning area. PUD names shall not duplicate existing Planned Unit Development names.
c.
A block in the lower right-hand corner shall include the following: The preparation date; a north arrow designated as true north; a written and graphic scale; the names and addresses of the applicant, developer and engineer or surveyor who prepared the exhibit; and the number of the sheets and the total number of sheets.
d.
The boundary of the proposed PUD shall be depicted in a heavy solid line. Note those areas not included in the PUD as "Not included in this PUD Plan."
e.
A vicinity map that depicts the area to be considered and the area which surrounds the proposed PUD within a one-mile radius.
f.
Depict all development areas, lots and tracts to clearly show land uses proposed.
g.
On the plan, include a land use schedule listing the various land use categories, acreages and number of units.
h.
Contour lines depicted at two-foot intervals. USGS contour information shall be provided on a separate sheet showing the property and building envelopes if applicable. The staff planner may request that other significant topographic conditions be depicted at greater or lesser intervals where appropriate.
i.
Delineate all regulatory one-hundred-year floodplains and floodways, all existing and proposed watercourses, retention and detention areas, wetlands, streams and lakes on the affected property and environmentally sensitive areas within one hundred (100) feet of such property.
j.
Note the land use, zoning and ownership of the adjacent land, including the intended future use of the adjacent land, if owned by the applicant. If adjacent land has been subdivided, show adjacent lots.
k.
Note existing structures on the site, their uses and whether they are to remain on the site.
l.
Identify any historical or archaeological sites.
m.
Note significant natural or man-made features within and adjacent to the proposed PUD.
n.
Depict all potential hazard areas including: geologic hazard areas; expansive soils; areas of thirty percent (30%) or greater slope or other slope ranges, as determined necessary by the staff planner.
o.
Note short- and long-range views onto or from the site, including scenic mountain views, rock outcroppings, drainages and related matters.
p.
Depict any significant existing stands of vegetation and identify the type of vegetation.
q.
Identify wildlife habitat areas, including breeding grounds, nesting areas, crossings, wintering areas, migratory routes and related matters.
r.
Show the proposed design of the following items:
1.
Local, collector and arterial streets.
2.
Pedestrian and open space systems, including connections to adjacent development and open space areas. Include width and surface type for all pedestrian paths and/or trails.
3.
Focal points, community facilities and other special features.
4.
The treatment of potentially conflicting land uses.
(6)
Preliminary Development Guide. Any PUD shall submit a development guide which establishes the standards, variations and requirements for the development which are divergent from the zoning regulations of the Town. The development guide shall include but not be limited to proposed land uses, densities, setbacks, building heights, lot coverages, parking requirements, landscaping requirements and architectural requirements.
(7)
Development reports and plans. The applicant shall submit a report with supporting materials and completely address the items listed below as a minimum. The degree of detail for analysis of some of the following factors will depend upon the impact of the particular item on the surrounding area and the subject property. As determined by the Community Development Director, the applicant may be required to provide other documentation not listed in this Section to aid in the review of the plan. The Community Development Director may also waive or postpone until a later review stage any of these requirements.
a.
A discussion of site features as depicted on the plan that may affect the evaluation of the proposed development.
b.
A fiscal impact study demonstrating the revenues and expenditures attributable to the proposed development.
(8)
Public notice requirements shall be completed in accordance with Article VII of this Chapter.
(g)
Final PUD Plan.
(1)
Intent.
a.
The intent of the PUD Final Plan is to identify the complete PUD proposal to be considered by the Town. The Final Plan shall include a Final level PUD plan and guide.
b.
The intent of the Final Plan is to provide a layout of the PUD, which will be incorporated in the Official Zoning Map.
(2)
Review process.
a.
The applicant shall submit one (1) copy of a complete application to the Community Development Department.
b.
The submittal shall be reviewed for completeness within ten (10) working days. The applicant shall be notified of any inadequacies. An incomplete submittal shall not be processed.
c.
Once the submittal is determined complete and all issues have been satisfactorily addressed, the staff planner shall notify the applicant of the scheduled public hearing date and time and prepare a staff report for the Planning Commission.
d.
The Town is responsible for providing public notice prior to the Planning Commission public hearing in compliance with the public notice requirements in Article VII of this Chapter.
e.
The Planning Commission shall evaluate the application, staff report and public testimony, and make a recommendation to the Town Council to approve, approve with conditions, continue for additional information or further study or deny the Final Plan. The burden shall be on the applicant to present sufficient evidence that the criteria contained in Paragraph (g)(3) of this Section have been satisfied. The Planning Commission's decision shall be based on the evidence presented and compliance with the criteria for the Final Plan described in Paragraph (g)(3) of this Section.
f.
Following the recommendation by the Planning Commission, the staff planner will schedule the Final Plan for a public hearing with the Town Council and notify the applicant of the hearing date and time.
g.
The Town shall be responsible for providing public notice prior to the Town Council public hearing in compliance with the public notice requirements in Article VII of this Chapter.
h.
The Town Council shall evaluate at a public hearing the Final Plan, referral agency comments, staff report, the Planning Commission recommendation and public testimony, and shall approve, conditionally approve, continue for additional information or for further study, remand to the Planning Commission or deny the Final Plan. The burden shall be on the applicant to present sufficient evidence that the criteria contained in Paragraph (g)(3) of this Section have been satisfied. The Town Council's action shall be based on the evidence presented, and compliance with the criteria for the Final Plan described in Paragraph (g)(3) of this Section.
(3)
Criteria for approval of a Final Plan. The PUD shall comply with all of the following standards:
a.
Consistency with the Comprehensive Plan and other Town master plans and standards. The proposed PUD is consistent with the goals and policies of the Town Comprehensive Plan.
b.
Consistency with Chapter 4 of this Code and other applicable standards established by the Town. The proposed PUD complies with this Section and all other applicable provisions of this Article.
(4)
General Final Plan submittal requirements:
a.
Completed land use application.
b.
A copy of the recorded warranty deed and title commitment or updated title commitment current within thirty (30) days of submittal.
c.
A notarized letter of authorization from the landowner permitting a representative to process the application.
d.
A narrative outlining the proposal.
e.
Final PUD Plan exhibit (described in Paragraph (g)(5) of this Section).
f.
Final PUD Development Guide (described in Paragraph (g)(6) of this Section).
g.
Final development reports and plans (described in Paragraph (g)(7) of this Section).
(5)
Final PUD plan exhibit.
a.
The plan exhibit shall be prepared on 24" x 36" paper at a scale of 1" = 100', 1" = 200' or another size and/or scale approved by the Community Development Director.
b.
The title shall be placed at the top of the sheet along the long dimension of each sheet and shall include the name of the proposed PUD. A general legal description stating the aliquot portion of the section, township, range, 6th P.M., shall be included under the name and planning area. PUD names shall not duplicate existing Planned Unit Development names.
c.
A block in the lower right-hand corner shall include the following: The preparation date; a north arrow designated as true north; a written and graphic scale; the names and addresses of the applicant, developer and engineer or surveyor who prepared the exhibit; and the number of the sheets and the total number of sheets.
d.
The boundary of the proposed PUD shall be depicted in a heavy solid line. Note those areas not included in the PUD as "Not included in this PUD Plan."
e.
A vicinity map that depicts the area to be considered and the area which surrounds the proposed PUD within a one-mile radius.
f.
Depict all development areas, lots and tracts to clearly show land uses proposed.
g.
On the plan, include a land use schedule listing the various land use categories, acreages, total number of units and average density of land use categories.
(6)
A Final Development Guide which establishes the standards, variations and requirements for the development which are divergent from the zoning regulations of the Town. The development guide shall include but not be limited to proposed land uses, densities, setbacks, building heights, lot coverages, parking requirements, landscaping requirements and architectural standards or guidelines.
(7)
Development reports and plans. The Community Development Director may require additional reports and documentation not listed in this Section to aid in the review of the plan.
a.
A discussion of site features as depicted on the plan that may affect the evaluation of the proposed development.
b.
A final fiscal study.
(8)
Public notice requirements shall be completed in accordance with Article VII of this Chapter.
(Ord. 2009-18 §4)
(a)
Intent.
(1)
The purpose of this Section is to establish the procedure and requirements for requested amendments to this Article or the Official Zoning Map.
(2)
Any amendments to this Article proposed by a property owner, Town Staff, Planning Commission or Town Council shall be processed according to the procedures and requirements of Subsection (b) of this Section.
(3)
Except as set forth in Section 4-4-14, amendments to the Official Zoning Map (Rezoning) shall be processed according to the procedures and requirements of Subsection (b) of this Section.
(b)
Procedure for Zoning Map amendment (rezoning).
(1)
Submittal of rezoning application. The applicant will submit to the Community Development Department the materials necessary for the rezoning request. The Community Development Department shall have ten (10) days to review the submittal for completeness.
(2)
The Community Development Department will send the application out for referrals to various agencies for comment. These agencies will have twenty-five (25) days to respond.
(3)
The Town is responsible for providing public notice prior to the public hearing in compliance with the public notice required in Article VII of this Chapter.
(4)
Planning Commission hearings. The Planning Commission conducts a public hearing for the purpose of providing a recommendation to the Town Council on the rezoning issue. The Planning Commission shall evaluate the application, staff report and public testimony, and make a recommendation to the Town Council to approve, approve with conditions, continue for additional information or further study or deny the rezoning application. Scheduling of the hearing will depend on other development applications to be heard by the Commission.
(5)
Town Council hearings. The Town Council conducts a public hearing to consider the rezoning. Notice of the hearing shall be given as provided in Article VII of this Chapter. The Town Council, at the public hearing and after review and discussion of the proposal, shall take one (1) of the following actions:
a.
Approval of the request, without conditions.
b.
Conditional approval of the request, indicating for the record what conditions shall be attached to the proposal.
c.
Disapproval of the request, indicating for the record the reasons for the recommendation of denial.
d.
Continuing the request, at a date and time certain in order to obtain more information to help clarify or support the request before them.
If the Council decides to rezone the property, the Council shall adopt an ordinance rezoning the property.
(6)
Submittal requirements.
a.
The applicant shall submit the following information to the Community Development Department. Additional information may be requested after the formal application is received:
1.
A completed development application form and appropriate rezoning fees.
2.
Narrative outlining the proposal.
3.
A copy of the recorded deed and title commitment current within thirty (30) days.
4.
An alphabetical list of all property owners within two hundred (200) feet of the affected property.
5.
Twenty (20) copies of the rezoning map, including a written legal description (folded to 9" x 12") and area to be rezoned and prepared in accordance with this Section. Additional copies may be requested for referral.
6.
A consent letter if the applicant is different from the landowner.
7.
An economic justification study analyzing the need for such additional zone district area.
b.
Rezoning request narrative. The applicant shall submit a narrative which includes the following information:
1.
Applicant's name.
2.
Description of the general proposal.
3.
Present zoning and land use on and surrounding the site.
4.
General development schedule and phasing plan when the project is not constructed at one (1) time.
5.
Statement of consistency with the Town Comprehensive Plan.
6.
Description of water and sewer systems proposed to serve the site.
c.
Rezoning map exhibit. The rezoning map for a proposed site shall be prepared in a clear and legible manner. The Community Development Department may reject and return any formal submittal which, in its opinion, does not display the required information or is done in an unacceptable manner (i.e., poor drafting, etc.). The plan shall be prepared at a scale of one inch equals one hundred feet (1" = 100'), two hundred feet (1" = 200') or another scale approved by the Community Development Department which allows for maximum clarity of the proposal. Each rezoning map shall contain the following information:
1.
All adjacent land owned by the applicant; land not part of the proposed request shall be noted as an exception and/or indicate intended current/future use of the land.
2.
Graphically define all natural and man-made water courses, retention areas, streams and lakes. Any known one-hundred-year floodplain affecting the property shall also be delineated.
3.
Show topography on the site at two-foot contours. Other significant topographical conditions should be shown at more defined contours.
4.
Show public access to the proposed development/site.
5.
Show all existing structures on the site, their uses and whether they are to remain on the site.
6.
Delineate at appropriate scale existing easements on the site, their uses and who holds or owns the right to that easement.
7.
North arrow with written and graphic scale, and indicate the preparation date of the plan.
8.
Vicinity map showing the relationship of the site to the surrounding area within one (1) mile.
9.
Indicate the name, address and telephone number of the property owner, applicant (if different) and the persons who prepared the submittal.
10.
Show all existing and proposed streets, drives and roads on or affecting the site, and the names of existing streets on or adjoining the site.
11.
Note existing land uses on adjoining properties and said property's zoning.
12.
Note existing zoning of the site, the proposed zoning of the site or the portion in the request, average lot size, proposed density and all public/private sources of utility services/facilities.
13.
Provide an accurate legal description of the property being shown in the proposal.
14.
Indicate the name of the proposal.
15.
Indicate any land to be dedicated to the Town.
16.
Note on the plan any unique features on the site; historical features, unique land forms, views, etc.
17.
In addition, at the request of the Community Development Department, the applicant shall provide any reasonable information on the proposal when needed to help clarify the request being made.
d.
Additional information. Depending upon the size and proposed land uses, the Town may require:
1.
A traffic impact study. This study shall be prepared in accordance with the guidelines contained in the "Town of Silverthorne Roadway Design and Construction Criteria Manual."
2.
A fiscal impact study demonstrating the revenues and expenditures attributable to the proposed development.
(Ord. 2003-20 §2)
(a)
Intent. The purpose of this Section is to provide a procedure to process annexation and zoning requests concurrently.
(b)
Filing of petitions. Petitions for annexation and for annexation elections shall be filed with the Town Clerk. The Town Clerk shall refer the petitions to the Town Council as a communication.
(c)
Review of petitions. Upon receipt of the petitions, the Town Council shall proceed as described in Article III.
(d)
The Planning Commission shall not accept for review any zoning proposal or applications for real property proposal or applications for real property located outside of the Town boundaries until the Town Council has determined that annexation petitions describing the property substantially comply with the requirements of Title 31, Article 12, C.R.S., or the Town Council has tabled any action on the annexation petitions for a period of time not to exceed one hundred eighty (180) days.
(Ord. 2003-20 §2)
The following schedule of permitted uses for the various zone districts within the Town is hereby adopted and declared to be a part of this Chapter and may be amended in the same manner as any other part of this Chapter. In each zoning district, any uses not expressly permitted either by right, upon conditional review or as an accessory use shall be deemed to be excluded. The Community Development Director shall render the final administrative decision concerning the scope, application and meaning of terms in this Section.
Use Schedule
(Ord. 1997-4 §§1, 2; Ord. 2003-20 §2; Ord. 2005-9 §2; Ord. 2009-23 §2; Ord. 2012-2 §1; Ord. 2013-2 §3; Ord. 2015-06, §2; Ord. 2016-01, § 2; Ord. 2025-07, §2)
No building permit shall be issued for a use not specifically mentioned or described by category in this Chapter. In case of doubt or dispute, and before a building permit is issued, the Community Development director shall determine the use group in which the use shall be classified.
(Ord. 2003-20 §2)
(a)
Permit required. A conditional use permit shall be required prior to the issuance of a building permit or business license associated with, or the commencement of, any use identified in this Chapter as a conditional use in the relevant zone district. No conditional use shall be considered a use by right. Any use built and actually in existence on the original effective date of this Chapter as a use by right which is rendered a conditional use in the zone district where it is located by the terms of this Chapter, as amended, shall be considered a use by right and not a conforming use.
(b)
Procedure.
(1)
An application with the required materials shall be filed with the Community Development Department. Only complete submittals will be accepted. Projects will not be scheduled until deemed complete by the Community Development Department.
(2)
The application shall be reviewed in accordance with the procedure established in Section 4-1-22 and the criteria established in this Section.
(3)
A conditional use permit is valid so long as the conditions of approval are maintained by the applicant. If an approved conditional use ceases operation for any reason for a period of one (1) year or more, the conditional use permit shall be deemed expired.
(4)
If the conditions of a conditional use permit become the responsibility of a person or entity other than the applicant, the Community Development Department shall be notified in writing, identifying the new person or entity responsible for maintaining the conditions of the permit. Until such notice is received, the applicant shall remain responsible for maintaining those conditions. The notice shall be attached to the permit on file with the Community Development Department.
(5)
Failure to maintain Town Council-imposed conditions shall constitute a violation of this Section, which violations may be prosecuted by a summons and complaint in the Municipal Court. Notwithstanding Section 1-1-19 of this Code, the Municipal Judge shall impose a fine of not less than one thousand dollars ($1,000.00) upon conviction of a first offense of violations of this Section, and a fine of not less than one thousand five hundred dollars ($1,500.00) for the second and all subsequent violations, but may not impose any jail sentence. Subsequent to a second conviction for violation and upon the discovery of a third or subsequent violation, the Community Development Director may schedule a public hearing at which the Town Council will consider revocation of the permit. Public notice of the hearing shall be given pursuant to Article VII of this Chapter.
(c)
Submission requirements. The applicant for a conditional use permit shall submit to the Community Development Department any or all of the following materials, which are, in the opinion of the Community Development Director, relevant to the particular permit being requested. Only complete submittals will be accepted:
(1)
A complete conditional use permit application and the required fee.
(2)
A legal description of the property involved.
(3)
A site plan showing proposed uses and structures on the property meeting all standards and requirements of Article VI .
(4)
Scaled elevations and/or perspective drawings of any proposed structures.
(5)
A proposed development schedule indicating:
a.
Date of the beginning of the use and/or construction.
b.
Phases in which the project may be developed and the anticipated rate of development.
c.
Date of completion of the project.
(6)
Any agreements, provisions or covenants to be recorded.
(7)
Restoration or reclamation plans shall be required for all conditional uses requiring extensive grading and for extractive uses.
(8)
A statement regarding any provisions for proper ongoing maintenance of the use and site.
(9)
All proposed land use and floor space activity indicating this use type and areas clearly labeled on floor plans.
(10)
Any additional materials which, in the opinion of the Community Development Department, are necessary to adequately review the application.
(d)
Criteria for review and decision. The Town shall consider the following criteria when evaluating an application for conditional use permit:
(1)
Whether the proposed use or development otherwise complies with all requirements imposed by this Chapter.
(2)
Whether the proposed use or development is in conformance with the Town's Comprehensive Plan.
(3)
Whether the proposed use or development is compatible with adjacent uses. Such compatibility may be expressed in appearance, architectural scale and features, site design, and the control of any adverse impacts, including noise, dust, odor, lighting, traffic, safety and impact on property values of the surrounding area.
(4)
Suitability of location for the use or development.
(5)
History of compliance by the applicant with the requirements of this Code and prior conditions, if any, regarding the subject property.
(6)
Ability of the applicant or any successor-in-interest to continuously meet the conditions of the proposed permit.
(7)
Other factors relevant to the specific application.
(e)
Amendments. No approved conditional use or development may be modified, structurally enlarged or expanded in ground area, unless such modification, enlargement or expansion receives the prior approval of the Town, which shall be obtained by repetition of the procedures provided by this Section.
(f)
For all uses in districts in which a conditional use is permitted pursuant to this Code, approval of a conditional use may be limited to a period of time not less than one (1) year, subject to later review and continued conditional use approval as set forth in this Section.
(g)
If an owner of property which is subject to conditional use approval that is limited to a term of years as permitted by Subsection (f) above intends to continue the conditional use, the owner shall, prior to the expiration of the limited term of conditional use approval, submit to the Community Development Department a letter of intent to continue the approved conditional use. The owner's submission of a letter of intent to continue the conditional use shall postpone the expiration of the term of the conditional use approval until such time as the Town either approves or denies the continuation of the conditional use. Failure of the owner of property to submit a letter of intent to continue the approved conditional use shall not preclude the Town from independently initiating a review pursuant to this Section for continuation of the approved conditional use.
(h)
Within fifteen (15) days of receipt of the owner's letter of intent, the Community Development Department shall determine whether the property owner has fully complied with and is presently in compliance with all conditions of use approval. If the Community Development Department believes that the property owner has fully complied with the conditions of use approval and is, at that time, in full compliance with the conditions of use approval, the Community Development Department may renew the conditional use approval for a period of not less than one (1) year or equal to the period of time previously granted for the conditional use. The Community Development Department shall mail to the owner at the owner's last known address notice of the renewal of such conditional use.
(i)
If the Community Development Department believes that the owner of the property failed to comply with the conditions of use approval, is not at the present time in compliance with the conditions or denies the renewal, the Community Development Department shall set a public hearing at which the Town Council will consider the renewal or the expiration of the term of the conditional use. Public notice shall be given of such hearing according to Article VII of this Chapter.
(j)
The Town Council may either renew the conditional use approval for a period not less than one (1) year, find that the owner has failed to substantially comply with the conditions of use approval and that the term of the conditional use has expired, choose not to renew the conditional use for other reasons or renew the conditional use approval subject to a modification of existing conditions or the addition of new conditions.
(Ord. 2003-20 §2)
(k)
Additional requirements for water pipelines: In addition to the foregoing, an application for a conditional use permit to construct and operate a water pipeline, as defined at Section 4-2-1 of this Chapter, shall include the submission requirements listed at Sections 4-12-35, 4-12-36 and 4-12-37 of this Code, and shall be subject to the approval criteria listed at Sections 4-12-51, 4-12-52 and 4-12-53 of this Code. Water pipelines falling within the scope of Section 4-12-24(2) of this Code are exempt from this Subsection. The application fee shall be as established in Appendix A for "Matters of State Interest" under Section 4-12-33 of this Code. In the event the applicant for a conditional use permit for a water pipeline is also applying for a permit for the same project to conduct an activity of state interest pursuant to Article XII of this Chapter, the two (2) applications may be combined and heard at the same public hearing; and submission requirements, where identical, may be combined. The Town Council may, in its sole discretion, waive any part but not all of the submission requirements in the manner permitted by Section 4-12-38 of this Code.
(Ord. 2005-9 §3; Ord. 2008-5 §1)
Home occupations may be conducted only within the R-2, R-6 and R-15 zone districts, residential developments, and within Planned Unit Development districts which are wholly residential, subject to the following requirements:
(1)
The owner must first apply for and obtain a business license from the Town in the manner set forth at Chapter 1, Article VII.
(2)
The owner must continuously comply with the following conditions:
a.
The use must be clearly secondary to the primary use of the building as a residential dwelling.
b.
No article may be sold or offered for sale or delivery on the premises.
c.
The use must be operated in its entirety within the dwelling unit.
d.
No person other than those who reside within the dwelling unit may be employed in the operation.
e.
There shall be no signage or other forms of advertising, other than as permitted within each specific sign district, permitted outside of the dwelling unit.
f.
No additions to or alterations of the exterior of the dwelling unit, including outside entrances for the purpose of the "home occupation," shall be permitted.
g.
The activity shall not occupy more than twenty-five percent (25%) of the gross floor area of the dwelling unit or four hundred (400) square feet, whichever is less.
h.
The conduct of the home occupation and its external effects must not interfere with the peace, quiet and dignity of the neighborhood and adjoining properties.
(3)
In the event any of the foregoing conditions are not continuously maintained, or in the event the owner's business license expires without renewal or is revoked, the conduct of the home occupation on the property must also cease until such condition or license is reestablished to the satisfaction of the Town. Failure to maintain the conditions at Subsection (2) above shall be cause for revocation or suspension of the business license and shall be considered a violation of this Section.
(4)
In the instance of a home daycare facility, requirements and regulation of the State of Colorado shall apply.
(Ord. 2003-20 §2)
Single apartments may be allowed as a conditional use after receiving Staff approval of a single apartment conditional use under Article VII of this Chapter.
(1)
In making its decision, Community Development Department staff shall consider whether the following conditions have been met:
a.
Submission of evidence that the Community Development Department has reviewed the plans for such apartment and that they meet all applicable ordinances, standards, rules and regulations of the Town.
b.
Submission of a site plan, elevations, and floor plan which meet Town zoning, site plan and building permit requirements equal to those required by the Town before the issuance of a building permit.
c.
Evidence that sufficient off-street parking will be available for both the current occupants of the single-family dwelling and the current and future occupants of the apartment. Such parking facilities shall conform to the applicable provisions of this Code.
d.
Submission of letter of approval by the respective Homeowners Association (HOA).
e.
Payment of the prevailing system development fees sufficient to cover the addition of the apartment to the water and sewer system and payment of any past due water and sewer service fees. The system development fee shall be that prevailing at the time of the approval of the apartment. System development fees and building permitting fees may be waived for single apartments that meet the definition of deed restricted unit, and which are restricted to the 100% Area Median Income (AMI) rental rate for Summit County, and which are also restricted to tenants whose incomes are at or below 100% AMI (as calculated annually by the Summit Combined Housing Authority (SCHA)). Any owner that wishes to remove the single apartment for which fees have been waived will be required to repay to fees in full to the Town prior to removal of the single apartment.
f.
Determination that the apartment is apparently necessary in the Town, suitable to the location and not injurious to public health, safety or peace or to the character and value of the surrounding properties.
g.
Compatibility of the proposed use with the Town's Comprehensive Plan.
h.
Compatibility of adjacent uses.
(2)
The apartment shall remain unoccupied until final inspection by the Town and the issuance of a certificate of occupancy. A certificate of occupancy will only be issued for the single apartment if one has been issued for the principal single family dwelling unit.
(3)
The apartment must be built within the footprint of a single family dwelling unit, or as an integral part of a detached building located on the same lot as the single family dwelling unit.
(4)
The floor area of the apartment shall not exceed thirty-three percent (33%) of the floor area of the single family dwelling unit. For the purposes of determining the floor area of the single family dwelling unit, an attached garage (sharing a common wall, ceiling or floor with the living area) may be included and the proposed apartment may be built above an attached garage. A detached garage may not be used as part of the basis for determining the floor area of the single family dwelling unit.
(5)
The single apartment must be incidental and subordinate in size and character to the principal single-family dwelling unit.
(6)
Mobile homes, recreational vehicles, camper busses, and travel trailers shall not be used as single apartments or accessory residences.
(7)
Any single family residence where a single apartment exists or to which a single apartment is added shall not operate a short term rental, as defined by Town Code Article XVI, Short Term Rental Properties.
(8)
Single-family dwelling units that contain a single apartment shall be designed so that the exterior resembles a single-family residence. Single apartments shall complement the design and architecture of the primary residence. A single apartment shall not detract from the single-family character of the neighborhood.
(9)
Single apartments shall not count as additional units of density. Only one (1) single apartment is allowed on the lot of the associated single family dwelling unit.
(10)
The owner of the residence must establish and maintain continuous residency in either the primary residence or the single apartment. Continuous residency shall mean that the owner resides in the unit as his or her primary residence, as documented by driver's license and registration, voter registration, utility payments and other relevant indicators.
(11)
Lease term. Any lease of the single apartment shall be for a minimum term of six (6) months. If the owner of the single family dwelling unit resides in the single apartment, any lease of the single family dwelling unit, or portions thereof, shall be for a minimum term of six (6) months.
(12)
Single apartments shall not be sold separately from the single family dwelling unit on the same property.
(Ord. 2003-20 §2; Ord. 2018-14, §2; Ord. 2022-07, § 3)
(a)
Purpose.
(1)
It is the intent of this Section to promote an acceptable and safe living environment for mobile home users on rented, leased or owned lots within a mobile home park and to establish compatible land use relationships with due regard to a mobile home's role as a residential dwelling unit.
(2)
These standards are designed for the purpose of promoting a low-medium density, quiet environment for mobile home parks. It is intended that these standards shall be such that the quality of an adjacent neighborhood is not detrimentally affected by a mobile home park.
(b)
Location of mobile homes restricted. Mobile homes or travel camper trailers in the Town may be parked only in a licensed mobile home park, with the following exceptions:
(1)
Emergency parking. Mobile homes or travel campers may be parked on public rights-of-way for emergency purposes, up to a maximum of twenty-four (24) hours. Such parking shall be so as not to interfere with traffic visibility and safety.
(2)
Storage. Only unoccupied camper trailers or pickup campers may be stored on private property and in that case only where a permanent residence on such property is inhabited.
(c)
Licensing and inspection.
(1)
License required. It shall be unlawful for any person to operate any mobile home park within the limits of the Town unless he or she holds a valid Town business license issued annually by the Town in the name of such person for the specific mobile home park. Licenses may be issued by the Town, provided that the applicant demonstrates that the mobile home park complies with the terms of this Chapter.
(2)
License transfer. Every person holding a Town business license for a mobile home park shall give notice in writing to the Community Development Department within twenty-four (24) hours after having sold, transferred, given away or otherwise disposed of interest in or control of any mobile home park. Such notice shall include the name and address of the person succeeding to the ownership or control of such mobile home park. A new application for transfer of the license and a new ownership fee shall be collected if the mobile home park is in compliance with all applicable provisions of this Chapter and regulations issued hereunder.
(3)
Inspection. The Town shall inspect each mobile home park at least once annually to determine compliance with the provisions of this Chapter and all other applicable ordinances, rules, regulations or codes. Such officials shall have the authority to enter upon the premises for the purpose of such inspections at any reasonable time without notice to the owner or manager.
(4)
No mobile, manufactured or modular home produced prior to 1988 may be placed within a new mobile home park or moved into an existing mobile home park.
(d)
New parks and space or site additions to all parks.
(1)
All new mobile home parks or site or space additions or development on any existing mobile home park must submit all plans and specifications for such development to the Planning Commission and obtain approval of the Town Council. The review procedure shall be as a planned unit development meeting the requirements of this Section.
(2)
The Town shall inspect each new mobile home park or space/site addition or construction on existing parks to determine compliance with the provisions of this Chapter and all other applicable ordinances, rules, regulations or codes. No occupancy shall be permitted or certificate of occupancy issued until the Town has made such determination in writing. Occupancy of the premises prior to the issuance of a certificate of occupancy shall subject the violator to the penalties set forth in this Code. Town officials shall have the authority to enter upon the premises for the purpose of such inspection at any reasonable time without notice or approval of the owner or manager.
(3)
The Town Council may, after Planning Commission review, waive or modify requirements of this Section where it has been adequately demonstrated that (1) no additional impact to the public or to the Town will result from such waiver or modification, and (2) such waiver or modification is in harmony with the character of the surrounding neighborhood and consistent with a Planned Unit Development.
(e)
Park layout standards. The following shall be considered minimum standards for the layout of mobile home parks unless the planned unit development application, as approved, permits other standards:
(1)
Minimum area. The minimum gross area for a new mobile home park is three (3) acres.
(2)
Maximum densities. Maximum density shall not exceed eight (8) mobile homes per gross acre.
(3)
Lot size; setbacks.
a.
Minimum individual lot or space area.
1.
Single-wide mobile home: five thousand (5,000) square feet.
2.
Double-wide or expandable mobile home: six thousand (6,000) square feet.
b.
Setbacks.
1.
Front yard: twenty (20) feet.
2.
Side yard: ten (10) feet.
3.
Rear yard: ten (10) feet.
4.
No infringement into the required setbacks shall occur except that storage sheds and open carports or shelters (two [2] open sides) may extend to within three (3) feet of the property line.
5.
The minimum distance of any building or mobile home from any exterior boundary of the mobile home park shall be twenty (20) feet.
Illustration No. 1: Park Layout and Design
(4)
Streets and lighting.
a.
The mobile home park shall be serviced by a private street system constructed and maintained in compliance with all Town requirements and which provides safe and convenient access from abutting public streets or roads to all mobile home spaces. All streets and sidewalks shall be constructed in accordance with the Town's design standards and specifications for local residential streets.
b.
The mobile home park shall be so designed that all mobile home spaces abut an interior roadway. All interior roadways, sidewalks, snow stacking areas and common areas shall be owned by a separate entity and maintained by the park owner, a homeowner's association or park management.
c.
All access streets shall be designed so as to provide adequate access to and from the mobile home park site at two (2) locations. All access streets shall be designed to maximize integration with existing transportation facilities in the area.
d.
All collector and access streets and pedestrian sidewalks and walkways serving more than two (2) mobile home spaces shall be lighted for the safe movement of vehicles and pedestrians. All street lights shall employ cut-off lighting, to prevent any portion of the bulb or light source from projecting below the screen or shade and meet standards of Section 4-6-13.
e.
Street and utility design. All interior streets shall be not less than twenty (20) feet in constructed width, bordered on both sides by a concrete drainage-way and a fifteen (15) foot wide snow stacking area. All underground utilities to serve the units shall be placed within the street or snow stacking easement, as illustrated below.
Illustration No. 2: Street and Utility Design
(5)
Parking.
a.
A minimum of two (2) paved, off-street parking spaces having a combined minimum area of three hundred twenty-four (324) square feet shall be maintained for each mobile home space. Said spaces shall be located within three hundred (300) feet of the mobile home space. In addition, a minimum of one (1) paved, off-street space, having a minimum area of one hundred sixty-two (162) square feet, shall be maintained for every mobile home space for the purpose of guest parking. No on-street parking shall be permitted.
b.
Except as provided in Subparagraph a above, all parking spaces shall be constructed in accordance with the design standards and specifications adopted pursuant to Section 4-6-10.
c.
Off-street automobile parking spaces shall have direct, unobstructed access to a paved street, driveway or parking area over an accessway of sufficient width to accommodate an automobile. Parking spaces may not be "stacked" such as to permit one (1) automobile to block another. (See Illustration No. 1.)
d.
Pickup trucks with camper units may occupy off-street parking spaces where said pickup with the camper unit is used regularly for transportation and when so parked the camper is unoccupied.
(6)
Storage.
a.
No storage on mobile home spaces or on off-street automobile parking spaces of boats, campers, motor homes, snowmobiles, detached pickup campers, trailers, etc., shall be permitted. Separate off-street areas for such items shall be provided in an amount equal to one hundred (100) square feet per mobile home space. Such storage areas shall be topped with a paved surface facilitating drainage and shall be screened from view by an opaque fence, not less than six (6) feet in height.
b.
A minimum of seventy-two (72) cubic feet of storage space shall be provided for each mobile home space adjacent to the mobile home in a shed or other covered structure.
(7)
Recreation area. A general area or areas amounting to not less than ten percent (10%) of the usable gross area of the park, excluding any area dedicated as public right-of-way, shall be provided for recreation use. Such areas shall not include any area designated as a mobile home space, storage area or required yard, parking or roadway. Recreation area, as used herein, shall mean an area actually developed for recreational uses with facilities commonly found in municipal parks. As part of his or her application, the applicant shall submit a plan for the area, showing location and amounts of recreational features and equipment.
(8)
Building location, placement and height. All mobile home units are encouraged to face upon and take access from an interior roadway. All mobile homes shall be placed in accordance with the approved site plan.
(9)
Boundary fencing. Each mobile home park shall be enclosed by an opaque fence not less than six (6) feet in height. Fencing around each individual mobile home lot or site shall not exceed four (4) feet in height nor intrude into the front yard setback of the unit (the side from which the occupants access the street).
(10)
Surface treatment. Exposed ground surfaces in all parts of a mobile home park shall be hard-surfaced with asphalt or concrete or other solid material or shall be protected with a vegetative growth which will prevent soil erosion and eliminate dust. Not more than fifty percent (50%) of the exposed ground surface may be hard-surfaced. Areas below the home, porch, carport or permanent outbuilding are not considered exposed.
(11)
Site conditions.
a.
The condition of the soil, groundwater level, drainage and topography within a mobile home park shall not be such as to create hazards to the property or the health or safety of the occupants of the mobile home park.
b.
The site of a mobile home park shall not be exposed to health and safety hazards such as objectionable smoke, noxious odors, unusual noise, sudden flooding, subsidence or erosions or the probability of insect or rodent infestation.
c.
The entire ground surface within a mobile home park shall be graded and equipped in such a manner as to provide diversion of water away from buildings, patios and mobile home stands; to prevent standing water and soil saturation which could be detrimental to structures; and to provide adequate and safe surface drainage.
(12)
Manufactured homes. In addition to all the requirements of this Section, manufactured homes and factory built homes located in a mobile home park shall comply with the following standards:
a.
The unit shall be placed on a foundation meeting Town building code and applicable state and federal standards.
b.
The unit, garage or carport shall have a pitched roof so there is at least a four-inch vertical rise for each twelve (12) inches of horizontal run and covered with nonreflective material that is residential in appearance, including, but not limited to, asphalt or fiberglass composition shingles, ceramic tile, concrete tile or conventional metal tiles or panels, but excluding smooth or corrugated sheet metal, aluminum or plastic panels and wood shingles.
c.
Exterior siding on the unit, garage or carport shall be residential in appearance and consisting of nonreflective materials including, but not limited to, wood, stucco, masonite, ceramic tile, conventional vinyl or metal lap siding, brick, stone or any combination of these materials, but excluding smooth or corrugated sheet metal, aluminum or plastic panels.
d.
The unit shall be at least fourteen (14) feet in width.
(13)
Nonresidential uses. No part of any park shall be used for nonresidential purposes, except as otherwise permitted by the zoning ordinance of the Town.
(14)
Landscaping. All parks containing four (4) or more residential units shall provide landscaping in the manner described in Section 4-6-11, and in the amounts required for multifamily developments under Section 4-6-11. The placement of required landscaping shall be shown and approved on the final plan with approximately equal treatment for each unit.
(f)
Utilities and services.
(1)
All utilities underground. All utilities within the park shall be installed underground.
(2)
Water supply. The water supply for the mobile home park shall be that provided by the Town. The water system shall be connected by pipes to all service buildings and all mobile home spaces. Individual water service connections which are provided for direct use by mobile homes shall be provided with individual valves below frost depth (not less than eight [8] feet) and with valve boxes to grade.
(3)
Sewage disposal.
a.
Compliance with regulations. All plumbing in the mobile home park shall comply with the plumbing laws and health regulations of the State, the County and the Town. The sewage disposal system shall be that provided by the Town.
b.
Connection of all facilities required. A system for sanitary sewage collection shall be provided in all mobile home parks and all wastes and sewer lines discharging from buildings and module homes shall be connected thereto. The collection system must in turn be connected to the Town's sewage system.
c.
Connection standards. Each mobile home space shall be provided with at least a three-inch sewer connection, tapped below the frost line, with the inlet of the line to be not less than one (1) inch above the surface of the ground. The sewer connection shall be provided with suitable fittings so that a water tight connection and proper vent can be made between the mobile home drain and the sewer connection. Such mobile home connections shall be so constructed that they can be closed air tight when not linked to a mobile home and shall be trapped in such a manner as to maintain them in an odor-free condition.
(4)
Refuse disposal system required. A central storage area for collection and disposal of refuse shall be provided in the park. Containers shall comply with state and local regulations.
(5)
Electricity and natural gas.
a.
Installation of each space. An electric outlet supply of service shall be provided for each mobile home space. The installation shall comply with all state and local electrical codes and ordinances. Electrical outlets shall be weatherproof.
b.
Area lights. Street and yard lights shall be provided in such number and intensity as to ensure the safe movement of vehicles and pedestrians at night. A light shall be located at each outside entrance of the service buildings and shall be kept lighted during the hours of darkness. All area lights shall meet Town lighting standards.
c.
Natural gas and propane. Where natural gas and/or propane is provided, installations shall comply with all applicable state, county and building code requirements.
(6)
Fire protection. Mobile home parks shall be kept free of litter, rubbish and other flammable materials.
(g)
Site use.
(1)
No mobile home shall be occupied unless situated on a mobile home space.
(2)
Location on site. All homes shall be placed in accordance with the approved site plan. The lot size, setback, storage and recreation area requirements of Subsection (e) of this Section may be varied or reduced by the Town Council in consideration of the following factors, when incorporated into the Planned Unit Development application:
a.
Orientation of homes to reduce apparent building massing and to offset front door entrances and views.
b.
Increased or innovative use of landscaping.
c.
Use of curvilinear interior streets.
d.
Recreational amenities of particular or extraordinary value to park residents.
e.
Other design elements proposed by the applicant and accepted by the Town.
(3)
Permanent additions. Permanent additions to mobile homes shall require a building permit. Skirting is permissible but shall not attach the mobile home permanently to the ground, provide a harborage for rodents or create a fire hazard. Additions must not encroach into the required setbacks.
(4)
Parking limitations. No vehicle in excess of one (1) ton carrying capacity shall be kept, stored or parked within a mobile home park except while making normal deliveries.
(5)
Performance standards apply. All performance standards of this Chapter shall apply to the use of all mobile home parks.
(h)
Management.
(1)
Enforcement of regulations. The owner or operator of the mobile home park shall arrange for the management and supervision of the mobile home park so as to enforce or cause compliance with the provisions of this Chapter.
(2)
Maintenance. The owner, operator or attendant of the mobile home park shall assume full responsibility for maintaining all facilities in good repair and condition.
(3)
Office. The mobile home park shall provide a designated on-site manager and office. For parks of ten (10) or more units, the on-site manager must reside within the park. A copy of all required Town and state licenses and permits shall at all times be kept in the park office.
(4)
Management duties. It shall be the duty of the site manager, together with the owner or operator, to:
a.
Keep a register of all tenants, which shall be open at all times to inspection by state, county and federal officers and officers of the Town:
1.
Dates of entrance and departure.
2.
License numbers of all mobile homes and towing vehicles or automobiles.
3.
States issuing such licenses.
b.
Maintain the park in a clean, orderly and sanitary condition at all times.
c.
Ensure that the provisions of this Chapter are complied with and enforced and report promptly to the proper authorities any violations of law.
d.
Provide for the payment of all license fees required by Town ordinances or other laws.
e.
Prohibit the use of any mobile home by a greater number of occupants than that which it is designed to accommodate.
f.
Provide adequate site maintenance, including, but not limited to, landscaping, recreation areas, snow and trash removal and fencing.
(5)
Signs. Each mobile home park shall provide a sign at each entrance thereto, to include the name of the park and the street address. Each mobile home space shall be numbered uniformly with reflectorized numbers of a minimum height of five (5) inches.
(Ord. 2003-20 §2)
(a)
Legislative intent. It is the intent and purpose of this Article to regulate the time, place and manner in which adult entertainment is presented in adult-oriented businesses, to promote the health, safety and general welfare of the citizens of the Town, and to establish reasonable and uniform regulations to prevent the deleterious location and concentration of adult businesses within the Town. It is not the purpose of this Article to prohibit adult entertainment or to curtail constitutionally protected freedom of expression.
(b)
Findings of fact. The Town Council finds:
(1)
Regulation of adult businesses furthers substantial governmental interests and is necessary because in the absence of such regulation, significant criminal activity has historically and regularly occurred. This history of criminal activity has included prostitution, narcotics and liquor law violations, violent crimes against persons and property crimes.
(2)
Adult businesses are frequently used for unlawful and unhealthful sexual activities, including prostitution and sexual liaisons of a casual nature.
(3)
The concern over sexually transmitted diseases, including AIDS, is a legitimate health concern of the Town which demands reasonable regulation of adult businesses in order to protect the health and well-being of the citizens.
(4)
Adult businesses have a deleterious effect on both neighboring businesses and surrounding residential areas causing an increase in crime and a decrease in property values.
(5)
It is recognized that adult businesses have serious objectionable characteristics, particularly when they are located in close proximity to each other, thereby contributing to urban blight and downgrading the quality of life in the adjacent area.
(6)
The Town Council desires to minimize and control these adverse effects and thereby protect the health, safety and welfare of the citizens; preserve the quality of life; preserve the property values and character of surrounding neighborhoods; deter the spread of urban blight and protect the citizens from increased crime.
(7)
It is necessary to have a manager on the premises of adult businesses at all times as such establishments are offering adult entertainment so that there will be an individual responsible for the overall operation of the establishment, including the actions of patrons, entertainers and other employees.
(8)
The license fees required hereinafter are necessary as nominal fees designed to help defray the substantial expenses incurred by the Town in regulating adult businesses.
(9)
Restricted hours of operation will further prevent the adverse secondary effects of adult businesses.
(10)
Locational criteria alone do not adequately protect the health, safety and general welfare of the citizens and thus certain requirements with respect to the licensing and operation of adult businesses are in the public interest.
(c)
Definitions. For the purposes of this Article, the words and phrases used herein, unless the context otherwise indicates, shall have the following meanings:
Adult arcade means any commercial establishment to which the public is permitted or invited where, for any form of consideration, one (1) or more still or motion picture projectors, slide projectors or similar machines, or other image-producing machines, for viewing by five (5) or fewer persons per machine at any one (1) time, are used to regularly show films, motion pictures, video cassettes, slides or other photographic reproductions depicting actual acts of masturbation, sexual intercourse, copulation, sodomy or displaying human genitals in a state of sexual stimulation, arousal or tumescence, or depicting excretory functions as a part of or in connection with any of the activities set forth in this Subsection.
Adult bookstore, adult novelty store oradult video store means a commercial establishment which devotes at least fifty percent (50%) of its stock-in-trade or interior floor space to, or receives at least fifty percent (50%) of its revenues from, the sale, rental or viewing (for any form of consideration) of books, magazines, periodicals or other printed matter, or photographs, films, motion pictures, video cassettes, slides or other visual representations which are characterized by the depiction or description of specified sexual activities or specified anatomical areas.
Adult business means an adult arcade, adult bookstore, adult novelty store, adult video store, adult cabaret, adult motel, adult motion picture theater or sexual encounter center.
Adult cabaret means a nightclub, bar, restaurant, concert hall, auditorium or other commercial establishment which regularly features live adult entertainment.
Adult entertainment means any exhibition, display or dance which involves the exposure to view of any portion of the female breast below the top of the areola, male genitals, female genitals or the pubic hair, anus or cleft of the buttocks of any person or male genitals in a discernibly turgid state even if completely and opaquely covered.
Adult motel means a motel, hotel or similar commercial establishment which offers public accommodations, for any form of consideration, and provides patrons with closed-circuit television transmissions, films, motion pictures, video cassettes, slides or other photographic reproductions which are characterized by the depiction or description of specified sexual activities or specified anatomical areas and which advertises the availability of the sexually oriented type of material by means of a sign visible from the public right-of-way, or by means of any off-premises advertising including, but not limited to, newspapers, magazines, pamphlets or leaflets, radio or television, and offers a sleeping room for rent for a period of time less than five (5) hours.
Adult motion picture theater means any commercial establishment to which the public is permitted or invited where, for any form of consideration, films, motion pictures, video cassettes, slides or similar photograph reproductions are regularly shown depicting actual acts of masturbation, sexual intercourse, oral copulation, sodomy or displaying human genitals in a state of sexual stimulation, arousal or tumescence, or depicting excretory functions as part of or in connection with any of the activities set forth in this Subsection. Any establishment meeting the definition of an adult arcade is not an adult motion picture theater.
Child-care facility means a commercial establishment for daily care or instruction of children.
Church means any institution that people regularly attend to participate in or hold religious services, meetings and other activities. The term church shall not carry a secular connotation and shall include buildings in which the religious services of any denomination are held.
Lingerie modeling means private or group showings of lingerie that is modeled, but not at a one-time residential private party, but in a place of business, for any form of consideration. Such lingerie reveals specified anatomical areas.
Manager's station means a required area or areas, not exceeding thirty-two (32) square feet of floor area, that provides an unobstructed view, by direct line of sight, of each area of the premises to which any patron is permitted, excluding rest rooms.
Massage parlor means an establishment or place primarily in the business of providing massage services by a certified masseur or masseuse. Massage parlors are restricted to the hours of operation of 11:00 a.m. to 9:00 p.m.
Nudity or a state of nudity means the appearance of a human bare buttock, anus, male genitals, female genitals or female breast.
Obscene means a performance that:
a.
The average person, applying contemporary community standards, would find that taken as a whole appeals to the prurient interest in sex; and
b.
Depicts or describes:
1.
Patently offensive representations of ultimate sex acts, normal or perverted, actual or simulated, including sexual intercourse, sodomy and sexual bestiality; or
2.
Patently offensive representations of masturbation, excretory functions, sadism, masochism, lewd exhibition of the genitals, the male or female genitals in a state of sexual stimulation or arousal, or covered male genitals in a discernibly turgid state; and
c.
Taken as a whole, lacks serious literary, artistic, political or scientific value.
Patently offensive means so offensive on its face as to affront current community standards of tolerance.
Peep booth means a viewing room of less than one hundred fifty (150) square feet of floor space.
Performance means a play, motion picture, dance or other exhibition performed before an audience.
Public park means any area set aside by the Town for recreational use, open space or green belt area excluding officially designated trail corridors, including, but not limited to, officially designated pedestrian and bicycle paths.
Residential property means any area on the Town Zoning Map classified as a residential land use or any property or lot devoted to full-time residential use.
School means a facility that provides a curriculum of elementary and secondary academic instruction, including kindergartens, elementary schools, junior high schools and high schools.
Semi-nude means a state of dress in which clothing covers no more than the genitals, pubic region and areola of the female breast, as well as portions of the body covered by supporting straps or devices.
Sexual encounter center means a business or commercial enterprise that regularly offers, for any form of consideration, activities between male and female persons and/or persons of the same sex when one (1) or more of the persons is in a state of nudity or semi-nude. This definition does not apply to any actions in compliance with any treatment or examination of another person for a bonafide medical purpose when such treatment or examination is conducted in a manner substantially consistent with reasonable medical practices.
Specified anatomical areas means (a) less than completely and opaquely covered human genitals, pubic region, buttocks, anus or female breasts below a point immediately above the areola; or (b) human male genitals in a discernibly turgid state, even if completely and opaquely covered.
Specified sexual activities means (a) human genitals in a state of sexual stimulation or arousal; (b) acts of human masturbation, sexual intercourse or sodomy; and (c) fondling or other erotic touching of human genitals, pubic region, buttock or female breast.
(d)
Location of adult businesses.
(1)
It shall be unlawful to operate or cause to be operated an adult business in any location except as provided in the Zoning Ordinance. Such businesses must obtain a conditional use permit.
(2)
It shall be unlawful to operate or cause to be operated an adult business within one thousand (1,000) feet of:
a.
A church;
b.
A school or child care facility;
c.
A public park;
d.
A residential property.
(3)
It shall be unlawful to cause or permit the operation of an adult business within one thousand (1,000) feet of another adult business or a massage parlor as defined by this Article. The distance between any two (2) such businesses shall be measured in a straight line, without regard to intervening structures or objects, from the closest exterior wall of the structure in which the adult business is located.
(4)
It shall be unlawful to cause or permit the operation or maintenance of more than one (1) adult business in the same building, structure or portion thereof.
(5)
For the purpose of Subsection (2) of this Section, the distance between an adult business and the premises of a church, school, child care facility, public park or residential property, without regard to intervening structures, objects or Town limits, is from the closest exterior wall of the structure in which the adult business is located to the property line of such uses.
(6)
An adult business lawfully operating is not rendered a nonconforming use by the subsequent location of a church, school, child care facility, public park or residential property within one thousand (1,000) feet of the adult business; provided, however, that if the adult business ceases operation for a period of thirty (30) days or more regardless of any intent to resume operation, it may not recommence operation in that location.
(7)
Except for the period set forth in Subsection (6) above, each day of operation in violation of any provision of this Article shall constitute a separate offense.
(e)
License required; fee.
(1)
No person shall conduct an adult business without first having obtained a Type A or Type B adult business license, the fee for which is set forth in the fee schedule at Appendix A to this Code.
(2)
A Type A adult business license shall be required for all adult businesses where no fermented malt beverages or any malt, vinous or spirituous liquors are dispensed, consumed or sold.
(3)
A Type B adult business license shall be required for all establishments conducting an adult business where fermented malt beverages or any malt, vinous or spirituous liquors are dispensed, consumed or sold. Any such establishment shall also comply with all applicable requirements of Chapter 12, Article 46 or Article 47, C.R.S. and Chapter 2 of this Code.
(4)
In the event an application for an adult business license is withdrawn or denied, the license fee shall be refunded in full to the applicant.
(f)
License application.
(1)
All applicants for an adult business license shall file an application for such license with the Community Development Department on forms to be provided by the Community Development Department. Each individual applicant, partner of a partnership, officer, director and holder of ten percent (10%) or more of the corporate stock of the corporate applicant, and all managers of the proposed adult business, shall be named in each application form, and each of them shall be photographed and fingerprinted by the Police Department.
(2)
The completed application shall contain the following information and shall be accompanied by the following documents:
a.
If the applicant is:
1.
An individual, the individual shall state his or her legal name and any aliases and submit satisfactory proof that he or she is twenty-one (21) years of age and date of birth;
2.
A partnership, the partnership shall state its complete name, and the names of all partners, whether the partnership is general or limited, and a copy of the partnership agreement, if any;
3.
A corporation or limited liability corporation, the corporation shall state its complete name, the date of its incorporation, evidence that the corporation is in good standing under state statutes, or in the case of a foreign corporation, evidence that it is currently authorized to do business in the State, the names and capacity of all officers, of the registered corporate agent and the address of the registered office for service of process.
(3)
Whether the applicant or any other individual listed pursuant to Subsection (1) of this Section had a previous adult business license under this Chapter or from another municipality or county that was denied, suspended or revoked, including the name and location of the adult business for which the permit was denied, suspended or revoked, as well as the date of the denial, suspension or revocation and whether the applicant or any other individual listed pursuant to Subsection (1) of this Section has been a partner in a partnership or an officer, director or principal stockholder of a corporation that is permitted under this Chapter whose license has previously been denied, suspended or revoked, including the name and location of the adult business for which the license was denied, suspended or revoked as well as the date of denial, suspension or revocation.
(4)
Whether the applicant or any other individual listed pursuant to Subsection (1) of this Section holds any other license under this Chapter or holds a license issued under an adult business ordinance or regulation from another municipality or county and, if so, the names and locations of such other permitted businesses.
(5)
Whether the applicant or any other individual listed pursuant to Subsection (1) of this Section has been convicted of or pleaded nolo contendere to any crime involving pandering, prostitution, obscenity or any crime that is connected with operating another sexually oriented business, in any jurisdiction, within five (5) years from the date of conviction to the date of the application; and, if so, the crime involved, the date of conviction and the place of conviction.
(6)
The location of the proposed adult business, including a legal description of the property, street address and telephone and fax numbers, if any.
(7)
Proof of the applicant's ownership or other right to possession of the premises wherein the adult business will be conducted.
(8)
The applicant's mailing address and residential address.
(9)
The applicant's driver's license number, social security number and his or her federally issued tax identification number, if any.
(10)
A floor plan of the licensed premises which specifies the location and dimensions of the manager's station and demonstrates that there is an unobstructed view from at least one (1) of the manager's stations of every area of the premises to which any patron is permitted access for any purpose excluding rest rooms. The floor plan shall designate those rooms or other areas of the premises where patrons are not permitted and shall also designate the use of each room or other area of the premises. The floor plan need not be professionally prepared but must be drawn to a designated scale or drawn with marked dimensions of the interior of the premises to an accuracy of plus or minus six (6) inches. The diagram shall designate the place at which the license will be conspicuously posted and the location of any stage. A floor plan is not required of a licensed premises of an adult motel.
(11)
A current certificate of occupancy and straight-line drawing prepared, within thirty (30) days prior to the application, by a licensed land surveyor depicting the property lines and the structures containing any adult business or massage parlor within one thousand (1,000) feet of the closest exterior wall of the structure in which the applicant business will be located and depicting the property line of any church, school, child care facility, public park and residential property within one thousand (1,000) feet from the closest exterior wall of the structure in which the applicant business will be located.
(12)
Evidence from the Community Development Department that the proposed location of such business complies with the locational requirements of the Zoning Ordinance. The Community Development Department shall provide evidence of compliance or noncompliance with the Zoning Ordinance within ten (10) days of an applicant's request for such evidence.
(13)
If the applicant is an individual, he or she must sign the application for a license. If the applicant is other than an individual, each person who has a ten-percent or greater interest in the business must sign the application for a license. If a corporation is listed as owner of an adult business or as the entity which wishes to operate such a business, each individual having a ten-percent or greater interest in the corporation must sign the application for a license.
(14)
In the event that the Community Development Department determines that the applicant has improperly completed the application, he or she shall promptly notify the applicant of such fact and allow the applicant ten (10) days to properly complete the application. The time period for granting or denying a license shall be stayed during the period in which the applicant is allowed an opportunity to properly complete the application. For the purposes of this Chapter, the date the Community Development Department accepts an application which is complete in every detail and for which the application investigation required by Subsection (h) of this Section has been completed shall be the date the application is considered filed with the Community Development Department.
(15)
Applicants for a license under this Chapter shall have a continuing duty to promptly supplement application information required by this Section in the event that said information changes in any way from what is stated on the application. The failure to comply with said continuing duty within thirty (30) days from the date of such change, by supplementing the application on file with the Community Development Department, shall be grounds for suspension of an adult license.
(g)
Application fee. Each applicant, whether an individual, partnership or corporation, shall pay an application fee at the time of filing an application. Such application fee shall be nonrefundable and shall be in the amount set forth at Appendix A to this Code.
(h)
Investigation.
(1)
Within five (5) days of receipt of a properly completed application, together with all information required in connection therewith and the payment of the application and license fees, the Community Development Department shall transmit the photocopies of the application to the Police Department and the Building Official for investigation.
(2)
The Police Department shall be responsible for fingerprints and photographs and for investigation of the background of each individual applicant, the partners of a partnership or the officers, directors, holders of ten percent (10%) or more of the stock of a corporation and all managers of the proposed adult business. The investigation conducted by the Police Department shall verify the accuracy of all information required by Subsection (f) of this Section. Each applicant shall pay a nonrefundable investigation fee at the time the application is filed in the amount then charged by the State Department of Public Safety for each person who will be investigated. At the conclusion of its investigation, the Police Department shall indicate on the photocopy of the application whether the required information has been verified, date it and sign it.
(3)
The Building Official shall be responsible for ascertaining whether the application is in compliance with applicable building codes and ordinances. At the conclusion of its investigation, the Building Department shall indicate on the photocopy of the application whether it is in compliance, date it, sign it and, in the event of noncompliance, state the reasons therefor.
(4)
Each department shall complete its investigation and return the photocopy of the application to the Community Development Department within fifteen (15) days of the investigating department's receipt of the photocopy.
(i)
Action upon license.
(1)
The application shall be approved or denied by the Community Development Department within sixty (60) days of the date the application is filed with and accepted as complete by the Community Development Department. The Community Development Department shall deny a license if:
a.
Any individual applicant is under the age of twenty-one (21) years;
b.
The applicant has made a false statement upon the application or given false information in connection with an application;
c.
The applicant or any holder of ten percent (10%) or more of any class of stock, or a director, officer, partner or principal of the applicant has had an adult business license revoked or suspended anywhere within the State within one (1) year prior to the application;
d.
The applicant has operated an adult business which was determined to be a public nuisance under state law or this Code within one (1) year prior to the application;
e.
A corporate applicant is not in good standing or authorized to do business in the State;
f.
The applicant is overdue in payment to the Town or County of taxes, fees, fines or penalties assessed against him or her or imposed against him or her in relation to an adult business;
g.
An applicant is in violation of or is not in compliance with any of the provisions of this Chapter.
h.
An applicant or any other individual listed pursuant to Subsection (f) of this Section shall not have been convicted of or pleaded nolo contendere to any crime involving pandering, prostitution, obscenity or any other crime that is connected with operating another sexually oriented business, in any jurisdiction, within five (5) years from the date of the conviction to the date of the application.
(2)
In the event that the Community Development Department denies a license, it shall make written findings of fact stating the reasons for the denial and a copy of such decision shall be sent by certified mail to the applicant at the address shown in the application within ten (10) days after denial. An applicant shall have the right to appeal the denial at a hearing before the Town Manager, provided that written request for such a hearing shall be made to the Town Manager within thirty (30) days following the date of the denial of the license by the Community Development Department.
a.
At the hearing, the Town Manager shall hear such statements and consider such evidence as the Community Development Department, Police Department or other enforcement officers, the applicant, other party in interest or any other witness shall offer, which is relevant to the denial of the license application by the Community Development Department.
b.
If the Town Manager determines that the applicant is ineligible for a license per Subsection (1) above, he or she shall issue an order denying the application, within thirty (30) days after the hearing is concluded, based on findings of fact. A copy of the order shall be mailed by certified mail to the applicant at the address on the application. If the application is approved, it shall be approved by the Town Manager. It shall be issued and regulated pursuant to this Article.
c.
The order of the Town Manager made pursuant to Subparagraph (2) above shall be a final decision and may be appealed to the District Court pursuant to Colorado Rules of Civil Procedure 106(a)(4) or to the Silverthorne Municipal Court pursuant to this Subparagraph (2). Failure of an applicant to timely appeal said order constitutes a waiver of any right he or she may otherwise have to contest the denial of his or her license application.
1.
Notice of appeal to the Municipal Court must be filed within thirty (30) days of the Town's final decision.
2.
If the notice of appeal is accompanied by a motion and proposed order requiring certification of the record, the Municipal Court shall order the Town Manager or designee to file with the Clerk on a specified date, the record or such portion or transcript thereof as identified in the order, together with a certificate of authenticity. Both parties shall be given reasonable opportunity to file objections to the certified record. The cost of preparing the record shall be advanced and paid by the appealing party.
3.
Proceedings in the Municipal Court shall be expedited and a hearing conducted within sixty (60) days of the Court's receipt of notice of appeal. The Municipal Court shall issue written judgment within ten (10) days of the hearing.
4.
Review by the Municipal Court shall be limited to a determination of whether the Town Manager exceeded his or her jurisdiction or abused his or her discretion in denying the license application, based on the evidence in the record before the Town Manager.
5.
The Municipal Court proceedings shall be governed by the "Colorado Municipal Court Rules of Procedure" and the "Silverthorne Municipal Court Rules of Procedure."
6.
Judgment of the Municipal Court may be appealed pursuant to C.M.C.R. Rule 237.
(3)
No license shall be issued by the Community Development Department after approval of an application until the building in which the business is to be conducted is ready for occupancy with such furniture, fixtures and equipment in place as are necessary to comply with the provisions of this Chapter and all applicable building and fire code regulations, and then only after inspection of the premises has been made by the police and/or Building Official to determine that the applicant has complied with the plans and specifications submitted upon the application. Such inspection of the premises shall be made within ten (10) days after the Community Development Department receives written notification from the applicant that premises are in compliance with the submitted plans and specifications. If the licensed location has been inactive, without good cause, for at least one (1) year or if the building has not been constructed and placed in operation within two (2) years after approval of the license application, or construction of the building has not commenced within one (1) year after such approval, the Community Development Department in its discretion may revoke or elect not to issue or renew the license.
(j)
Term of the license. All licenses granted pursuant to this Chapter shall be for a term of one (1) year. Said term shall commence on January 1 of each year and terminate upon December 31 of the same year. Applications for a license filed at any other time during the year shall be treated the same as if they were filed January 1 of that year and shall terminate on December 31 of that same year, and no proration shall be permitted.
(k)
License renewal. Renewal of an existing license granted pursuant to this Chapter may be had by payment of the annual licensing fee and filing of a renewal application with the Community Development Department not less than forty-five (45) days prior to the date of expiration.
(l)
Suspension or revocation of license.
(1)
The Town Manager may suspend a license for a period of not to exceed six (6) months or revoke any license granted pursuant to this Chapter upon a finding of any of the following factors:
a.
That repeated disturbances of public peace have occurred within the licensed establishment or upon any parking areas, sidewalks, access ways or grounds within the neighborhood of the licensed establishment involving patrons, employees or the licensee;
b.
That the licensee or any employees thereof have illegally offered for sale or illegally allowed to be consumed or possessed upon the licensed premises, or upon any parking areas, sidewalks, walkways, access ways or grounds immediately adjacent to the licensed premises, narcotics, dangerous drugs, fermented malt beverages or any malt, vinous or spirituous liquors;
c.
That the licensee or manager or his or her designee is not upon the licensed premises at all times that adult entertainment is being provided;
d.
That adult entertainment was offered at the licensed establishment during hours prohibited by Subsection (o) of this Section;
e.
That the licensee, manager or employee has allowed patrons to engage in public displays of indecency in violation of Subsection (p) of this Section or has allowed patrons or employees to engage in acts of prostitution or negotiations for acts of prostitution within the licensed establishment or upon any parking areas, sidewalks, access ways or grounds immediately adjacent to the licensed establishment, when the licensee, manager or employee knew or should have known such displays or acts were taking place;
f.
That the licensee or manager made a false statement or gave false information in connection with an application for a license or a renewal of a license;
g.
That the licensee, manager or employee violated or permitted a violation of any provision of this Chapter including the standards of conduct set out in Subsection (p) herein;
h.
That the licensee, manager or any employee of the licensed establishment is under the age of twenty-one (21) years;
i.
That the licensee, in the case of a corporation, is not in good standing or authorized to do business in the State;
j.
That the licensee or an employee knowingly operated the adult business during a period of time when the adult business license was suspended;
k.
That the licensee is delinquent in payment to the Town or State for any taxes or fees past due;
l.
That the licensee, manager or employee has knowingly allowed any act of sexual intercourse, sodomy, oral copulation or masturbation to occur within the licensed premises;
m.
That a licensee or any other individual listed pursuant to Subsection (f)(1) of this Section has been convicted of or pleaded nolo contendere to any crime involving pandering, prostitution, obscenity or any other crime that is connected with operating another sexually oriented business, in any jurisdiction, within five (5) years from the date of the conviction to the date of the application; or
n.
That on two (2) or more occasions within a twelve-month period, a person or persons committed a crime, as specified in Subparagraph m above, or which a conviction or plea of nolo contendere has been obtained, and the person or persons were employees of the adult business at the time the offenses were committed.
(2)
Nothing in this Chapter shall prohibit the Town from taking any other enforcement action provided for by this Code, the laws of the State or of the United States.
(3)
A licensee shall be entitled to a hearing before the Town Manager if the Town seeks to suspend or revoke his or her license based on a violation of this Section.
a.
When there is probable cause to believe that a licensee has violated or permitted a violation of this Section to occur in or near the licensed establishment, a written complaint shall be filed with the Town Manager setting forth the circumstances of the violation.
b.
The Town Manager shall provide a copy of the complaint to the licensee, together with notice to appear for the purpose of a hearing on a specified date to show cause why the licensee's license should not be suspended or revoked.
c.
The hearing referred to above shall be conducted in accordance with the procedure set forth in Subsection (i) of this Section. If the Town Manager determines that a violation did occur, he or she shall issue an order suspending or revoking the license, within thirty (30) days after the hearing is concluded, based on the findings of fact. A copy of the order shall be mailed by certified mail to the licensee at the address on the license.
d.
In the event of suspension, revocation or cessation of business, no portion of the license fee shall be refunded.
e.
When a license has been revoked, the revocation shall continue for one (1) year, and the licensee shall not be issued an adult business license for one (1) year from the date on which revocation became effective. A new application shall be required at that time.
(m)
Display; transferability; change of ownership; change of corporate structure.
(1)
Any adult business license issued pursuant to the terms of this Chapter shall be prominently displayed at all times upon the premises for which the license was issued.
(2)
Licenses issued under this Chapter shall not be transferable except as provided herein. Any change in the partners of the partnership or in officers, directors or holders of ten percent (10%) or more of the stock of a corporate licensee holding an adult business license shall result in termination of the license of the partnership or corporation unless such licensee, within thirty (30) days of any such change, files a written notice of such change accompanied by the application fee and an investigation fee as required by Subsections (g) and (h) of this Section. Any such change shall be reported on forms provided by the Community Development Department and shall require the names of all new partners, officers, directors and all holders of ten percent (10%) or more of the corporate stock who were not previously holders of such amount of stock and any information as required by Subsection (f) of this Section. Approval or denial by the Community Development Department of such transfer shall be upon the same terms as provided for in this Chapter for the approval or denial of an adult business license.
(3)
When a license has been issued to a husband and wife or to general or limited partners, the death of a spouse or partner shall not require the surviving spouse or partner to obtain a new license. All rights and privileges granted under the original license shall continue in full force and effect as to such survivors for the balance of the license.
(4)
Each license issued under this Chapter is separate and distinct and no person shall exercise any of the privileges granted under any license other than that which he or she holds. A separate license shall be issued for each specific business or business entity and each geographical location.
(n)
Manager; change of manager.
(1)
A registered manager or his or her designee shall be on the premises of an adult business at all times that adult entertainment is being provided. It shall be unlawful for any person to work as a manager of an adult business without first registering with the Community Development Department. The registration form shall require the applicant to provide his or her legal name and any aliases, home address, telephone number and satisfactory proof that he or she is twenty-one (21) years of age.
(2)
In the event a licensee changes the manager of an adult business, the licensee shall immediately report such change and register the new manager on forms provided by the Community Development Department within ten (10) days of such change.
(o)
Time limits for entertainment. No adult entertainment shall be offered or provided in the following types of adult businesses at the following days and times:
(1)
Type A: prior to 12:00 noon or later than 12:00 midnight, or anytime on a Sunday.
(2)
Type B: prior to 12:00 noon or later than 2:00 a.m., or anytime on a Sunday.
(p)
Standards of conduct.
(1)
The following standards of conduct must be adhered to by employees of any adult business which offers, conducts or maintains live adult entertainment:
a.
No employee or entertainer mingling with the patrons or serving food or drinks shall be unclothed or in such attire, costume or clothing so as to expose to view any portion of the female breast below the top of the areola or of any portion of the pubic hair, anus, cleft of the buttocks, vulva or genitals or display male genitals in a discernibly turgid state even if completely and opaquely covered.
b.
No employee or entertainer shall encourage or knowingly permit any person upon the premises to touch, caress or fondle the breasts, buttocks, anus or genitals of any other person.
c.
No employee or entertainer shall wear or use any device or covering exposed to view, which simulates the breasts, genitals, anus, pubic hair or any portion thereof.
d.
State of dress.
1.
No employee or entertainer shall be unclothed or in such attire, costume or clothing so as to expose any portion of the female breasts below the top of the areola, or any portion of the pubic hair, anus, cleft of the buttocks, vulva or genitals of any person, except upon the stage at least eighteen (18) inches above the immediate floor level and removed at least six (6) feet from the nearest patron or behind a solid, uninterrupted physical barrier which completely separates the entertainer from any patrons. This barrier must be a minimum of one-fourth (¼) inch thick and have no openings between the entertainer and any patrons. The stage shall be fixed and immovable.
2.
No employee or entertainer shall perform while nude or semi-nude any obscene acts or obscene acts which simulate:
a)
Sexual intercourse, masturbation, sodomy, bestiality, oral copulation, flagellation or any sexual acts which are prohibited by law;
b)
The touching, caressing or fondling of the breasts, buttocks, anus or genitals.
e.
No employee or entertainer shall use artificial devices or inanimate objects to depict any of the prohibited activities described in this Section.
f.
There shall be posted and conspicuously displayed in the common areas of each place offering adult entertainment, a list of food and drink prices.
g.
Any tips for entertainers shall be placed by a patron into a tip box which is permanently affixed in the adult business and no tip may be handed directly to an entertainer. A licensee that desires to provide for such tips from its patrons shall establish one (1) or more containers to receive tips. Any physical contact between a patron and an entertainer is strictly prohibited.
h.
An adult business that provides tip boxes shall conspicuously display in the common area of the premises one (1) or more signs in letters at least one (1) inch high to read as follows:
"ADULT ENTERTAINMENT IS REGULATED BY THE TOWN OF SILVERTHORNE;
"All tips are to be placed in tip box and not handed directly to the entertainer.
"Any physical contact between the patron and the entertainer is strictly prohibited."
i.
No adult entertainment occurring on the premises shall be visible at any time from outside of the premises.
(2)
Any licensee who offers, conducts or maintains live adult entertainment or an adult arcade which exhibits, in a viewing room of less than one hundred fifty (150) square feet of floor space, a film, videocassette or other video reproduction, shall comply with the following requirements in addition to those set forth in Subsection (p) of this Section:
a.
It is the duty of the licensee of the premises to ensure that at least one (1) employee is on duty and situated in each manager's station at all times that any patron is present inside the premises.
b.
It is the duty of the licensee and operator of the premises to ensure that any doors to public areas on the premises remain unlocked during business hours.
c.
The interior of the premises shall be configured in such a manner that there is an unobstructed view from a manager's station of every area of the premises to which any patron is permitted access for any purpose, excluding rest rooms. Rest rooms may not contain video equipment. If the premises have two (2) or more manager's stations designed, then the interior of the premises shall be configured in such a manner that there is an unobstructed view of each area of the premises to which any patron is permitted access for any purposes, excluding rest rooms, from at least one (1) of the manager's stations. The view required in this Subsection must be by direct line of sight from the manager's station. A manager's station may not exceed thirty-two (32) square feet of floor area.
d.
No alteration to the configuration or location of a manager's station may be made without the prior approval of the Building Official.
e.
It shall be the duty of the licensee, and it shall also be the duty of any agents and employees present in the premises, to ensure that the view area specified in Subparagraph c above, remains unobstructed by any doors, curtains, drapes, walls, merchandise, display racks or other materials at all times and to ensure that no patron is permitted access to any area of the premises which has been designated as an area in which patrons will not be permitted in the license application filed pursuant to this Chapter.
f.
No viewing room may be occupied by more than one (1) person at any one (1) time.
g.
Viewing rooms must be separated from other viewing rooms by a solid, uninterrupted physical divider which is a minimum of one-fourth (¼) inch thick and serves to prevent physical contact between patrons.
(3)
Nothing in this Section shall be construed to permit any act on the premises of a Type B adult business license in violation of Chapter 12, Article 46 or Article 47, C.R.S., or the State Department of Revenue rules and regulations issued pursuant thereto.
(q)
Age restrictions. Admission to adult businesses is restricted to persons of the age of twenty-one (21) years or more during hours adult entertainment is being presented. This minimum age limitation also applies to any employees, agents, servants or independent contractors working on the premises.
(r)
Lighting requirements.
(1)
All off-street parking areas and premises entries of adult businesses shall be illuminated from dusk to closing hours of operation with a lighting system which provides an average maintained horizontal illumination of one (1) foot-candle of light on the parking surface and/or walkways. This required lighting level is established in order to provide sufficient illumination of the parking areas and walkways serving the adult business to help ensure the personal safety of patrons and employees and to reduce the incidence of vandalism and other criminal conduct.
(2)
The premises of all adult businesses, except adult motion picture theaters, shall be equipped with overhead lighting fixtures of sufficient intensity to illuminate every place to which patrons are permitted access to provide an illumination of not less than two (2) foot-candles of light as measured at the floor level.
(3)
Adult motion picture theaters shall be equipped with overhead lighting fixtures of sufficient intensity to illuminate every place to which patrons are permitted access to provide an illumination of not less than one (1) foot-candle of light as measured at the floor level.
(s)
Right of entry. The application for an adult business license shall constitute consent of the licensee and his or her agents or employees to permit the Police Department or any other agent of the Town to conduct routine inspections of any licensed adult business during the hours the establishment is conducting business.
(t)
Exemptions. It is an affirmative defense to prosecution under this Chapter if a person appearing in a state of nudity or semi-nudity did so in a modeling class operated:
(1)
By a proprietary school, licensed by the State; a college, junior college or university supported entirely or partly by taxation;
(2)
By a private college or university which maintains and operates educational programs in which credits are transferable to a college, junior college or university supported entirely or partly by taxation; or
(3)
In a structure:
a.
Which has no sign visible from the exterior of the structure and no other advertising that indicates a nude person is available for viewing; and
b.
Where, in order to participate in a class, a student must enroll at least three (3) days in advance of the class; or
c.
Where no more than one (1) nude model is on the premises at any one (1) time.
(Ord. 2003-20 §2)
Permitted accessory buildings, except garages and carports, shall not be set closer to the front street than the principal building on the lot. Permitted accessory buildings may be located in the required rear yard for the principal building, provided than not more than forty percent (40%) of the area of any required yard is eliminated.
(Ord. 2003-20 §2)
(a)
Construction office. One (1) temporary building to be used as a construction office may be located on the site upon which a building or development is under construction or specifically planned for a period of twelve (12) months. A twelve-month extension for such buildings may be issued by the Community Development Department provided that:
(1)
The temporary building is not used for living quarters.
(2)
No extension shall be granted in any residential zone.
(3)
A specific date for construction of a permanent building on the same site is anticipated.
(4)
No more than four (4) extensions shall be permitted.
(b)
Sales office. One (1) temporary building to be used for a sales office may be located on the site of a development project during the period of active sales, but not more than twelve (12) months. Twelve-month extensions for such buildings may be issued by the Community Development Department.
(Ord. 2003-20 §2)
Temporary and transient businesses, as defined at Article II of this Chapter, and including distributors, peddlers and solicitors as defined by Section 1-7-30 of this Code, may be conducted only within the C-1 and Riverfront Mixed Use Zone Districts and within any exclusively commercial planned unit development, and by special permission from the Recreation and Culture Department for parks and open space areas, subject to the following requirements:
(1)
The owner or operator shall have applied for and obtained a business license in the manner and as required by Chapter 1 of this Code.
(2)
Before conducting a tent sale, vending cart of farmers' market, the owner or operator shall make application to the Community Department for approval under Section 4-1-22.
a.
Tent sale.
1.
A tent sale may not extend for more than four (4) consecutive days. No more than one (1) tent sale allowed per year per licensed local merchant.
2.
Proof of ownership of property or permission of property owner required.
3.
A site plan must be submitted to the Community Development Department, which includes:
a)
EQR evaluation, including reference to temporary taps, porta potties, trash, water and sanitation.
b)
Sufficient parking, circulation and access.
c)
Picture of tent and other proposed temporary structures.
4.
Certificate of insurance from the merchant, naming the Town as additional insured in the event public lands or rights-of-way will be used, and permission from the Town for such use.
5.
Crowd control and fire department requirements shall be met.
b.
Vending cart.
1.
Temporary water or sewer taps, if required, must be approved by the Town.
2.
Signage must be permanently located on the cart itself or the canopy.
3.
Submission of site plan to the Community Development Department, addressing:
a)
EQR evaluation, including reference to temporary taps, porta potties, trash, water and sanitation.
b)
Pedestrian, circulation and access.
4.
Letter of long term intent required, committing to an operation of four (4) weeks minimum duration.
c.
Farmers' market. The applicant must provide, for approval by the Community Development Department, a description of the manner in which the following will be accomplished or guaranteed:
1.
Security.
2.
Trash.
3.
No on-site food preparation.
4.
Dust control.
5.
Community Development Department review of access.
6.
Signage.
(3)
In the event any of the foregoing conditions are not continuously maintained by the applicant, or in the event the applicant's business license expires without renewal or is revoked, the conduct of the temporary or transient business must also cease until such condition or license is reestablished to the satisfaction of the Town. Failure to maintain the conditions at Subsection (2) above shall be cause for revocation or suspension of the business license and shall be considered a violation of this Section.
(Ord. 2003-20 §2; Ord. 2008-3 §2)
(a)
Intent. The intent of the Town event permit is to ensure that any temporary changes, restrictions or adaptations regarding the use of property within the Town resulting from the conduct of an event (as defined in Section 4-2-1) are managed in a safe and legal manner to protect the health, safety and welfare of the citizens of the Town.
(b)
Events that exceed ten (10) days in length are considered a long-term land use, do not qualify for a permit under this Section and are required to comply with all applicable requirements of this Chapter regarding such land use.
(c)
Application. An event permit application is required to be submitted. Forms are available at the Town Recreation and Culture Department.
(d)
Event permit application fee. An event permit application fee is required with the submittal of the event permit application. The amount of the fee shall be as provided in the fee schedule in Appendix A to this Code.
(e)
Return of event permit application fee. Upon denial of any event permit application, the event permit application fee paid in advance shall be returned to the applicant. In the event that any event permit is revoked, all monies paid shall be and remain the monies of the Town, and no refund shall be made to any applicant.
(f)
Event permit fee exemptions.
(1)
Events sponsored by the Town are exempt from the permit fee.
(2)
Events sponsored by nonprofit organizations qualifying as charitable, pursuant to the federal Internal Revenue Code, are exempt from the permit fee.
(3)
The Town has the option of waiving the permit fee if the event is not directly related to commercial entities deriving revenues.
(g)
Event permit review process.
(1)
The applicant shall submit a complete event permit application and fee to the Recreation and Culture Department a minimum of ten (10) days prior to the event date.
(2)
If the Recreation and Culture Department determines the application to be complete, the application is forwarded to the following departments within the Town for review: Finance, Town Manager, Public Safety, Community Development and Public Works. The applicant will be notified by the individual department requiring more information or additional compliance. Any restrictions will be noted by departments on the review sheet, and the entire application may be held until compliance is obtained by the applicant in any single area of the entire application.
(3)
Once the review process has been completed, the Recreation and Culture Department will notify the applicant regarding approval or denial of the permit.
(h)
Grounds for denial. The Recreation and Culture Department may deny an event permit application or place conditions on any permit for any of the following reasons:
(1)
The submitted event permit is incomplete.
(2)
The Town has already received a permit application for another event for the date requested, or other timing conflicts.
(3)
The applicant's previous history of conducting an event has resulted in Town Code or public event permit violations.
(4)
The event permit is recommended for denial by a Town Department or fails to receive another required entity approval.
(i)
Revoking a permit. The event permit may be revoked at any time if Town Code or event permit violations occur during the approved event.
(Ord. 2003-20 §2; Ord. 2008-3 §3)
(a)
Intent. The purpose of this Section is to provide standards concerning nonconforming uses of land. Where at the time of the adoption of this Chapter or amendment thereof, lawful use of land exists which would not be permitted, the use may be continued so long as it remains otherwise lawful; provided:
(1)
No such nonconforming use shall be enlarged or increased, nor extended to occupy greater area of land than was occupied at the effective date of adoption or amendment of the ordinance rendering the use nonconforming;
(2)
No such nonconforming use shall be moved in whole or in part to any portion of the lot or parcel other than that occupied by such use at the effective date of adoption or amendment of the ordinance rendering the use nonconforming;
(3)
Whenever nonconforming use of land has been discontinued for any reason for a period of one (1) year, regardless of any intent to resume such use, such use or any other nonconforming use shall not thereafter be reestablished and any subsequent use of such land shall conform to the regulations specified by this Chapter for the zone district in which such land is located;
(4)
No additional structure, not conforming to the requirements of this Chapter, shall be erected in connection with such nonconforming use of land.
(b)
A nonconforming use shall not be changed to a use of a lower or less restrictive classification, but such nonconforming use may be changed to another use of the same or higher classification. Refer to Section 4-4-31 for more detail.
(Ord. 2003-20 §2)
Where a lawful structure exists at the effective date of adoption or amendment of the ordinance rendering the use nonconforming, that could not be built under the terms of this Chapter by reason of restrictions on area, lot coverage, height, location on the lot or other requirements concerning the structure, such structure may continue to exist so long as it remains otherwise lawful, subject to the following provisions:
(1)
No such nonconforming structure may be enlarged or altered in a way which increases its nonconformity, but any structure or portion thereof may be altered to decrease its nonconformity.
(2)
Should fifty percent (50%) or more of such nonconforming structures or nonconforming portion of a structure be damaged or destroyed by fire or any other calamity or means and not be repaired or replaced within one (1) year from the date of loss, it shall not be reconstructed except in conformity with the provisions of this Chapter.
(3)
Should such structure be moved for any reason for any distance whatever, it shall thereafter conform to the regulations for the zone district in which it is located after having been moved.
(4)
A structure housing a nonconforming use which has been damaged by fire or other causes outside the control of the owner, in extent not exceeding fifty percent (50%) of its assumed market value on the day before the calamity may be restored to conform to this Chapter provided that such work is commenced within one (1) year of such calamity.
(5)
Ordinary repairs and maintenance of a structure containing a nonconforming use shall be permitted.
(Ord. 2003-20 §2)
(a)
No lot or parcel of land, nor any interest therein, shall be transferred, conveyed, sold, subdivided or acquired either in whole or in part, so as to create a new nonconforming use, to avoid, circumvent or subvert any provision of this Chapter, or so as to leave remaining any lot or width or area below the requirements for a legal building site as described in this Chapter; nor shall any lot or portion of a lot required for a legal building site under the provisions of this Chapter be used as a portion of a lot required as a site for another structure.
(b)
No building permit shall be issued for any lot or parcel of land which has been transferred, conveyed, sold, subdivided or acquired in violation of this Section.
(c)
Any transferee who acquires a lot or parcel of land in violation of this Section without knowledge of such violation, and any subsequent transferee, shall have the right to rescind and/or receive damages from any transferor who violates the provisions of this Section.
(Ord. 2003-20 §2)
Whenever in this Chapter reference is made to a higher (or more restrictive) classification and lower (or less restrictive) classification of uses in providing that a nonconforming use may be converted to a higher but not a lower classification, uses shall be considered higher or lower according to the following sequence (highest to lowest): open space, agricultural, R-2, R-6, R-15, River Front Mixed Use, C-1 and C-2. PUDs will be determined by the uses permitted in the plan and guide.
(Ord. 2003-20 §2)
Sites lawfully established pursuant to regulations in effect prior to the effective date of the ordinance codified in this Chapter which do not conform to the minimum lot area and dimension requirements prescribed by this Chapter for the zone district in which they are situated may be continued and shall be deemed legally established building sites, subject to the site development standards prescribed by this Chapter. No such site shall be further reduced in area or dimension.
(Ord. 2003-20 §2)
(a)
Equine and ruminant animals are specifically allowed in the A-1 Agricultural District and in Planned Unit Development districts within which that use is specifically permitted.
(b)
Livestock.
(1)
Livestock are permitted in the A-1 Agricultural Zone Districts. Livestock are disallowed in all other zone districts within the Town.
(Ord. 2003-20 §2)
The intent of the (TC) Town Core Zone District is to establish a compact, urban area with uses, form, and amenities that contribute to a walkable downtown environment.
(1)
Permitted uses: Consult the use schedule at Section 4-4-17; provided that residential dwelling units are permitted as accessory uses in mixed-use structures only, and residential dwelling units are not permitted on the ground floor.
(2)
Lot frontage, minimum: none.
(3)
Lot area, minimum: none.
(4)
Lot coverage, maximum: none.
(5)
Building height, maximum: As set forth in the Design District Standards and Guidelines.
(6)
Front setback, minimum: none.
(7)
Side setback, minimum: none.
(8)
Rear setback, minimum: five (5) feet.
(9)
Maximum density (residential uses): The maximum number of residential dwelling units permitted per acre of land is sixteen (16), except as follows:
a.
Density Bonus: A density bonus is permitted in the Town Core Zone District if seventy-five percent (75%) of the bonus units are restricted as workforce or senior housing, subject to a deed restriction approved by the Town.
(10)
Development Standards. All development in the Town Core Zone District is subject to the standards in Chapter 4, Article VI, Site Plan, with the following exceptions:
a.
Section 4-6-10(e)4.m. - Parking Requirements, Location. In the Town Core Zone District, parking facilities for commercial and mixed-use buildings shall not be closer to the property line than five (5) feet. Driveways and drive aisles, when not shared with adjacent properties, shall not be closer to the property line than five (5) feet.
b.
Section 4-6-10(e)4.o. - Snow-stacking space. In the Town Core Zone District, the Community Development Director may allow a reduction in the minimum amount of required snow stacking space when an adequate snow melt system is constructed for any parking area.
c.
Section 4-6-11 (g)17. - Landscaping requirements. The Landscaping requirements in the Town Core Zone District shall be the same as those required for the Mixed Use, Government, Light Commercial Zone District, with a note that, in the Town Core Zone District, each landscape decorative element, including benches, picnic tables, gazebos, art forms or sculptures, shall be deemed to cover three hundred sixty (360) square feet of landscaping area, or the equivalent of three (3) trees, or the equivalent of eighteen (18) shrubs.
d.
Section 4-6-11(g)18. - Exceptions to landscaping requirements. In the Town Core Zone District, up to fifty percent (50%) of the required number of trees and shrubs may be substituted with alternative forms of landscaping and decorative elements, including benches, picnic tables, gazebos, art forms, sculptures, larger boulders, and planter boxes.
(Ord. 2016-01, §1; Ord. 2025-10, §3)
(a)
Purpose. Ensuring that there is available and affordable housing for the local workforce plays a critical role in supporting the economy, maintaining a thriving labor force, and sustaining the Town's vitality and quality of life. The intent of this section is to establish parameters related to the Town's Workforce Housing program.
(b)
Authority. The Community Development Department is authorized to oversee the construction and preservation of workforce housing units; administer programs to create and preserve workforce housing; and manage the inventory of workforce housing.
(c)
Reporting and Verification Requirements.
(1)
An owner of a deed restricted unit shall annually submit a sworn affidavit attesting to compliance with the terms of the governing deed restriction or housing covenant, Silverthorne Housing Guidelines, or this Code.
(2)
Upon reasonable request by the Town, any property owner subject to a Town deed restriction or housing covenant shall submit any information reasonably necessary to determine compliance with the restrictions or covenants.
(d)
Enforcement. The Community Development Department is authorized to enforce the requirements of this Section.
(e)
Notice, Fines, and Penalties. Failure to comply with the requirements of this Section or this Code may result in the following notices, fines, and penalties:
(1)
Written notice of an administrative penalty shall be provided by first class United States mail to a person at such person's last known address.
(2)
A first warning shall be issued prior to imposing fines or penalties in accordance with this Section.
(3)
Failure to comply with a deed restriction or housing covenant shall be punishable by an administrative penalty or fine.
(4)
Failure to file an annual verification affidavit or respond to a request for compliance information from the Town shall be punishable by an administrative penalty or fine.
(5)
Failure to comply with occupancy or employment covenants in any deed or restrictive housing covenant may result in limitations on housing sale appreciation amounts.
(6)
Fines and penalties under this Section are cumulative.
(Ord. 2023-26 §1)
CHAPTER 4
Community Development