- IN GENERAL
The purpose of this chapter is to promote the public health, safety and general welfare of the community and a wholesome, serviceable and attractive municipality, by having regulations and restrictions that increase the safety and security of home life; that preserve and create a more favorable environment in which to rear children; that develop permanent good citizenship; that stabilize and enhance property and civic values; that facilitate adequate provisions for increased safety in traffic and transportation; that provide for vehicular parking, parks, parkways, recreation, schools, public buildings, housing, light, air, water supply, sewage, sanitation and other public requirements; that lessen congestion, disorder and danger which often inhere in unregulated municipal development; that prevent overcrowding of land and undue concentration of population; that assist in carrying out a master plan of the municipality; and that provide more reasonable and serviceable means and methods of protecting and safeguarding the economic structure upon which the good of all depends. In order to more effectively protect and promote the general welfare and to accomplish the aims and purposes of this comprehensive plan, the municipality is divided into districts of such number, shape and area, and of such common unity of purpose, adaptability or use, that are deemed most suitable to provide for the best general civic use, protect the common rights and interests within each district, preserve the general rights and interests of all, and to promote improved wholesome, sightly, harmonious and economic results in civic service, activities and operations; and by further regulations to limit the location, uses and occupancy of buildings, structures and land to be used for trade, industry, residence or other purposes, and also the location, height, bulk, occupancy and uses of buildings and other structures, including the percentage of lot occupancy and coverage, street setback lines, sizes of yards, and other open spaces.
(Ord. of 11-1-1967, § 1.2)
(a)
Rules of construction. The following rules of construction apply to the text of this chapter:
(1)
The particular shall control the general.
(2)
In the case of any difference of meaning or implication between the text of this chapter and any caption or illustration, the text shall control.
(3)
The word "shall" is always mandatory and not discretionary. The word "may" is permissive.
(4)
Words used in the present tense shall include the future; and words used in the singular number shall include the plural, and the plural the singular, unless the context clearly indicates the contrary.
(5)
A "building" or "structure" includes any of its parts.
(6)
The phrase "used for" includes "arranged for," "designed for," "intended for," "maintained for" or "occupied for."
(7)
The word "person" includes an individual, a corporation, a partnership, an incorporated association, or any other similar entity.
(8)
Unless the context clearly indicates the contrary, where a regulation involves two or more items, conditions, provisions, or events connected by the conjunction "and," "or," or "either…or," the conjunction shall be interpreted as follows:
a.
The term "and" indicates that all the connected items, conditions, provisions, or events shall apply.
b.
The term "or" indicates that the connected items, conditions, provisions or events may apply singly or in any combination.
c.
The term "either…or" indicates that the connected items, conditions, provisions or events shall apply but not in combination.
(9)
Terms not defined in this section shall have the meaning customarily assigned to them.
(b)
Definitions. The following words, terms and phrases, when used in this chapter, shall have the meanings ascribed to them in this subsection, except where the context clearly indicates a different meaning:
Accessory use or accessory means a use which is clearly incidental to, customarily found in connection with, and located on the same zoning lot, unless otherwise specified as the principal use to which it is related. When the term "accessory" is used in this text, it shall have the same meaning as "accessory use." An accessory use includes, but is not limited to, the following:
(1)
Residential accommodations for servants and/or caretakers.
(2)
Swimming pools for the use of the occupants of a residence, or their guests.
(3)
Domestic or agricultural storage in a barn, shed, tool room, or similar accessory building or other structure.
(4)
A newsstand primarily for the convenience of the occupants of a building, which is located wholely within such a building and has no exterior signs or displays.
(5)
Storage of merchandise normally carried in stock in connection with a business or industrial use, unless such storage is excluded in the applicable district regulations.
(6)
Storage of goods used in or produced by industrial uses or related activities, unless such storage is excluded in the applicable district regulations.
(7)
Accessory off-street parking spaces, open or enclosed, subject to the accessory off-street parking regulations for the district in which the zoning lot is located.
(8)
Uses clearly incidental to main use such as, but not limited to, offices of an industrial or commercial complex located on the site of the commercial or industrial complex.
(9)
Accessory off-street loading, subject to the off-street loading regulations for the district in which the zoning lot is located.
(10)
Accessory signs, subject to the sign regulations for the district in which the zoning lot is located.
Alley means any dedicated public way affording a secondary means of access to abutting property, and not intended for general traffic circulation.
Alterations means any change, addition or modification in construction or type of occupancy, any change in the structural members of a building, such as walls or partitions, columns, beams or girders, the consummated act of which may be referred to in this chapter as "altered" or "reconstructed."
Apartments means the dwelling units in a multiple dwelling as defined in this definition:
(1)
Efficiency apartment. The term "efficiency apartment" shall mean a dwelling unit containing not over 350 square feet of net floor area, and consisting of not more than one room in addition to kitchen and necessary sanitary facilities.
(2)
One-bedroom unit. The term "one-bedroom unit" shall mean a dwelling unit containing a minimum net floor area of at least 500 square feet per unit, consisting of not more than two rooms in addition to kitchen and necessary sanitary facilities.
(3)
Two-bedroom unit. The term "two-bedroom unit" shall mean a dwelling unit containing a minimum net floor area of at least 700 square feet per unit, consisting of not more than three rooms in addition to kitchen and necessary sanitary facilities.
(4)
Three- or more bedroom unit. The term "three- or more bedroom unit" shall mean a dwelling unit wherein for each room, in addition to the three rooms permitted in a two-bedroom unit, there shall be provided an additional area of 150 square feet to the minimum net floor area of 700 square feet.
Arcade means any premises open to the public wherein are assembled six or more mechanical or electronic amusement devices operated for use as a game, amusement, for information, or contest of any description.
Auto repair station means a place where, along with the sale of engine fuels, the following services may be carried out: general repair, engine rebuilding, rebuilding or reconditioning of motor vehicles; collision service, such as body, frame, or fender straightening and repair; overall painting and undercoating of automobiles.
Auto service station means a place where gasoline, or any other automobile engine fuel (stored only in underground tanks), kerosene, or motor oil and lubricants or grease (for operation of motor vehicles) are retailed directly to the public on the premises; including the sale of minor accessories and the servicing of and minor repair of automobiles.
Basement means that portion of a building which is partly or wholly below grade but so located that the vertical distance from the average grade to the floor is greater than the vertical distance from the average grade to the ceiling. A basement shall not be counted as a story.
Berms means earth mound used to cause transition between residential and nonresidential development, and between residential development and major or secondary thoroughfares. Such berm shall be constructed at a slope of not more than three to one.
Billboard means any construction or portion of a construction upon which a sign or advertisement used as an outdoor display for the purpose of making anything known to the general public is affixed. This definition does not include any bulletin boards used to display official court or public office notices.
Block means the property abutting one side of a street and lying between the two nearest intersecting streets, or between the nearest such street and railroad right-of-way, unsubdivided acreage, river or live stream; or between any of the foregoing and any other barrier to the continuity of development.
Building means any structure, either temporary or permanent, having a roof supported by columns or walls, and intended for the shelter or enclosure of persons, animals, chattels or property of any kind.
Building height means the vertical distance measured from the established grade to the highest point of the roof surface for flat roofs; to the deck line of mansard roofs; and to the average height between eaves and ridge for gable, hip and gambrel roofs. Where a building is located on sloping terrain, the height may be measured from the average ground level of the grade at the building wall.
Building line means a line formed by the face of the building and for the purpose of this chapter, a building line is the same as a front setback line.
Club means an organization of persons for special purposes or for the promulgation of sports, arts, sciences, literature, politics, or the like, but not operated for profit.
Convalescent or nursing home means a structure with sleeping rooms, where persons are housed or lodged and are furnished with meals, nursing and limited medical care.
Council means the duly elected legislative body of the municipality.
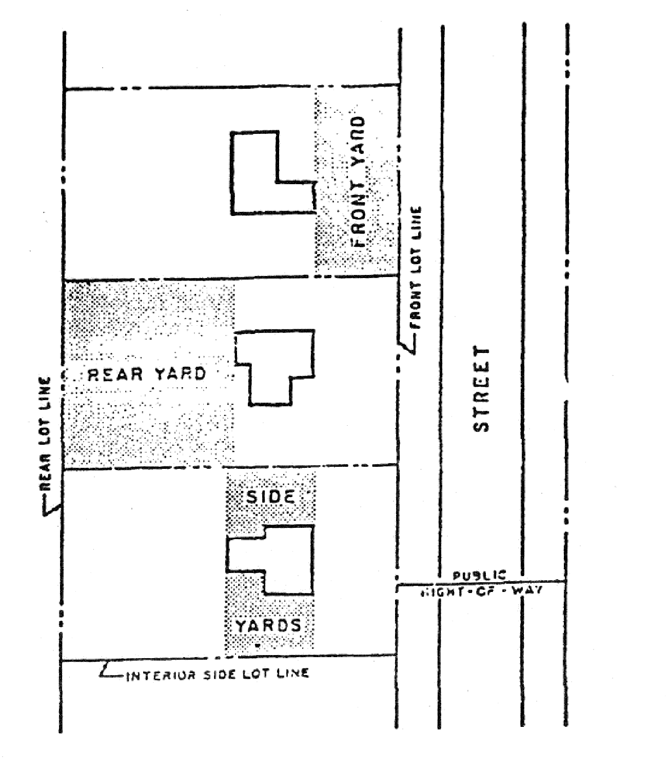
Court means an open, unoccupied space, other than a yard, and bounded on at least two sides by a building. A court extending to the front yard or front lot line or to the rear yard or rear lot line is an outer court. Any other court is an inner court.
Development means the construction of a new building or other structure on a zoning lot, the relocation of an existing building on another zoning lot, or use of open land for a new use.
District means a portion of the incorporated area of the municipality within which certain regulations and requirements or various combinations apply under the provisions of the chapter.
Drive-in means a business establishment so developed that its retail or service character is dependent on providing a driveway approach or parking spaces for motor vehicles so as to serve patrons while in the motor vehicle, or at eating space provided outside the building, rather than within a building or structure, or to provide self-service for patrons and food carryout.
Dwelling, multiple-family, means a building, or a portion of a building, designed exclusively for occupancy by three or more families, living independently of each other.
Dwelling, one-family, means a building designed exclusively for and occupied exclusively by one family.
Dwelling, two-family, means a building designed exclusively for occupancy by two families, living independently of each other.
Dwelling unit means a building, or a portion of a building, designed for occupancy by one family for residential purposes and having cooking facilities.
Dwelling unit, manufactured, means a dwelling unit which is substantially built, constructed, assembled and finished off the premises upon which it is intended to be located and shall include a mobile home.
Dwelling unit, site-built, means a dwelling unit which is substantially built, constructed, assembled and finished on the premises which are intended to serve as its final location. Site-built dwelling units shall include dwelling units constructed of precut materials, and panelized wall, roof and floor sections when such sections require substantial assembly and finishing on the premises which are intended to serve as its final location.
Erected means built, constructed, altered, reconstructed, moved upon, or any physical operations on the premises which are required for the construction. Excavation, fill, drainage, and the like, shall be considered a part of erection.
Essential services means the erection, construction, alteration or maintenance by public utilities or municipal departments of underground, surface or overhead, gas, electrical, steam, fuel or water transmission or distribution systems, collection, communication, supply or disposal systems, including poles, wires, mains, drains, sewers, pipes, conduits, cables, fire and police call boxes, traffic signals, hydrants, and similar accessories in connection therewith, but not including, buildings, towers or substations, which are necessary for the furnishing of adequate service by such utilities or municipal departments for the general health, safety or welfare.
Excavation means any breaking of ground, except common household gardening and ground care.
Exception means a use permitted only after review of an application by the board of appeals or commission other than the administrative official (building inspector), such review being necessary because the provisions of the chapter covering conditions, precedent or subsequent, are not precise enough to all applications without interpretation, and such review is required by this chapter.
Family means one or two persons or parents, with their direct lineal descendants and adopted children (and including the domestic employees of such persons) together with not more than two persons not so related, living together in the whole or part of a dwelling comprising a single housekeeping unit. Every additional group of two or less persons living in such housekeeping unit shall be considered a separate family for the purpose of this chapter.
Farm means all of the contiguous neighboring or associated land operated as a single unit on which bona fide normal and traditional farming is carried on directly by the owner-operator, manager or tenant farmer, by his own labor or with the assistance of members of his household or hired employees; provided, however, that land to be considered a farm shall include the active use of ten acres or more in area. Farms may be considered as including establishments operated as bona fide greenhouses; truck farms; nurseries; orchards; dairies; and raising of crops, traditional farm animals and farm produce. The term "normal and traditional farming" is not intended, nor implied, to include forms of animal feed lots, animal confinement facilities, intensive farming or other types of activities which emit offensive odors and/or are obnoxious, detrimental or dangerous to the public health, safety or welfare, or interfere with the peaceful enjoyment of property. Any such use shall only be permitted after it has been fully documented and demonstrated that the use does not conflict with, or constitute a likely impairment or infringement upon, any of the foregoing concerns. A bona fide traditional farm includes those farm buildings, activities and equipment essential to such farming activities; it is not intended, nor implied, to permit trucking, equipment and/or vehicle repairs and/or sales, storage, contractors' yards or any similar activities other than those clearly incidental to the bona fide farm operation.
Filling means depositing or dumping of any matter onto, or into the ground, except common household gardening and ground care.
Floor area means, for the purposes of computing the minimum allowable floor area in a residential dwelling unit, the sum of the horizontal areas of each story of the building measured from the interior faces of the exterior walls. The floor area measurement is exclusive of areas of basements, unfinished attics, attached garages, breezeways, and enclosed and unenclosed porches.
Garage, private, means an accessory building or portion of a main building designed or used solely for the storage of motor-driven vehicles, boats and similar vehicles owned and used by the occupants of the building to which it is accessory.
Garage, service, means any premises used for the storage or care of motor-driven vehicles or where any such vehicles are equipped for operation, repairs or kept for remuneration, hire or sale.
Grade means that the established grade is the mean elevation of the centerline of the existing street or road along the front of the lot, or as established by the municipality. The reference level for any building within ten feet of the front lot line is the official established grade opposite the center of the front of such building. For any building more than ten feet from the front lot line, or where no grade is established, the reference level is the mean level of the finished grade of the ground across the front of such building. When the mean finished grade about any portion of a building varies five feet or more from that at the front, such mean may be taken as the reference level for such portion of such building.
Junkyard means an open area where waste or used or secondhand materials are bought and sold, exchanged, stored, baled, packed, disassembled or handled including, but not limited to, scrap iron and other metals, paper, rags, rubber tires, and bottles. A junkyard includes automobile wrecking yards and includes any area of more than 200 square feet for storage, keeping or abandonment of junk but does not include uses established entirely within enclosed buildings.
Kennel, commercial, means any lot or premises on which three or more dogs, cats or other household pets are either permanently or temporarily boarded.
Loading space means an off-street space on the same lot, with a building or group of buildings, for the temporary parking of a commercial vehicle while loading and unloading merchandise or materials.
Lot means a parcel of land occupied by a main building or a group of such buildings and accessory buildings, or utilized for the principal use and uses accessory thereto, together with such open spaces as are required under the provisions of this chapter. A lot may or may not be specifically designated as such on public records.
Lot area means the total horizontal area within the lot lines of the lot.
Lot, corner, means a lot where the interior angle of two adjacent sides at the intersection of two streets is less than 135 degrees. A lot abutting upon a curved street shall be considered a corner lot for the purposes of this chapter if the arc is of less radius than 150 feet and the tangents to the curve, at the two points where the lot lines meet the curve or the straight street line extended, form an interior angle of less than 135 degrees.
Lot coverage means that part or percent of the lot occupied by buildings, including accessory buildings.
Lot depth means the horizontal distance between the front and rear lot lines, measured along the median between the side lot lines.
Lot, double frontage, means any interior lot having frontages on two more or less parallel streets as distinguished from a corner lot. In the case of a row of double frontage lots, all sides of such lots adjacent to streets shall be considered frontage, and front yards shall be provided as required.
Lot, interior, means any lot other than a corner lot.
Lot lines means the lines bounding a lot as defined in this definition:
(1)
Front lot line. In the case of an interior lot: that line separating such lot from the street. In the case of a through lot: that line separating such lot from either street.
(2)
Rear lot line. The term "rear lot line" shall mean that lot line opposite the front lot line. In the case of a lot pointed at the rear, the rear lot line shall be an imaginary line parallel to the front lot line, not less than ten feet long lying farthest from the front lot line and wholly within the lot.
(3)
Side lot line. The term "side lot line" shall mean any lot line other than the front lot line or rear lot line. A side lot line separating a lot from a street is a side street lot line. A side lot line separating a lot from another lot is an interior side lot line.
Lot of record means a parcel of land, the dimensions of which are shown on a recorded plat on file with the county register of deeds, at the time of inception of this chapter, or in common use by municipal or county officials, and which actually exists as so shown, or any part of such parcel held in a record ownership separate from that of its remainder.
Lot width (and the method of measuring minimum lot width) means as follows: For those lots whose side lot lines are parallel or where distance between side lot lines is less at the front lot line than at the rear lot line, the lot width shall be a straight line (chord) measurement between the two points where the minimum required front yard setback is located on the side lot lines. On those lots where the distance between side lot lines is less at the rear lot line than at the front lot line, the lot width shall be a straight line (chord) measurement between points on the side lot lines which are 50 feet back from the front lot lines.
Lot, zoning, means a single tract of land, located within a single block, which, at the time of filing for a building permit, is designated by its owner or developer as a tract to be used, developed or built upon as a unit, under single ownership or control. A zoning lot shall satisfy this chapter with respect to area, size dimensions, and frontage as required in the district in which the zoning lot is located. A zoning lot, therefore, may not coincide with a lot of record as filed with the county register of deeds, but may include one or more lots of record.
Main building means a building in which is conducted the principal use of the lot upon which it is situated.
Main use means the principal use to which the premises are devoted and the principal purpose for which the premises exist.
Major thoroughfare means an arterial street which is intended to serve as a large volume trafficway for both the immediate area and the region beyond, and may be designated as a major thoroughfare, parkway, freeway, expressway or equivalent term to identify those streets comprising the basic structure of the street plan. Any street with a width, existing or proposed, of 120 feet shall be considered a major thoroughfare.
Marginal access drive means a public or private street or drive parallel to a major or secondary thoroughfare, which provides access to abutting property.
Master plan means the comprehensive plan including graphic and written proposals indicating the general location for streets, parks, schools, public buildings and all physical development of the municipality, and includes any unit or part of such plan, and any amendment to such plan or parts of such plan. Such plan may or may not be adopted by the planning commission and/or council.
Mezzanine means an intermediate floor in any story occupying not to exceed one-third of the floor area of such story.
Mobile home means any structure, transportable in one or more sections, which is built on a chassis and designed to be used as a dwelling with or without permanent foundation, when connected to the required utilities, and includes the plumbing, heating, air conditioning and electrical systems contained in the structure. Mobile home does not include a recreational vehicle.
Mobile home park means any parcel or tract of land under the control of any person upon which provision is made for 75 or more mobile homes to be harbored or occupied, and not including sales or service.
Motel, hotel and residence inns means a series of attached, semidetached or detached rental units which provide temporary living accommodations. Any such temporary living facilities are generally developed at higher densities and are located in nonresidential areas; permanent living quarters are limited to those necessary for management purposes only. Permissible accessory uses include those deriving a majority of their use by resident guest. Within this context, hotels, motels and residence inns may include the following types of facilities:
(1)
Hotels (including motor hotels) which provide guestrooms together with doorman, porter and/or bellboy services and accessory facilities. Food and beverage services are provided primarily in centralized facilities as opposed to rooms and/or suites containing individual kitchen and dining facilities.
(2)
Motels providing rooms and services similar to those of a hotel with the exception that guests are primarily responsible for doorman and bellboy functions.
(3)
Residence inns provide guestrooms and/or suites with most units featuring individual kitchens and dining facilities. Since such units are more self-sufficient in nature, the size and scale of accessory uses is less than the other transient facilities indicated in subsections (1) and (2) of this definition.
Municipality means the city.
Nonconforming building means a building or portion of a building existing at the effective date of this chapter, or amendments thereto, and that does not conform to the provisions of the chapter in the district in which it is located.
Nonconforming use means a use which lawfully occupied a building or land at the effective date of this chapter, or amendments thereto, and that does not conform to the use regulations of the district in which it is located.
Nursery, plant material, means a space, building or structure, or combination, for the storage of live trees, shrubs or plants offered for retail sale on the premises including products used for gardening or landscaping. The definition of nursery within the meaning of this chapter does not include any space, building or structure used for the sale of fruits, vegetables or Christmas trees.
Off-street parking lot means a facility providing vehicular parking spaces along with adequate drives and aisles, for maneuvering, so as to provide access for entrance and exit for the parking of more than two vehicles.
Open front store means a business establishment so developed that service to the patron may be extended beyond the walls of the structure, not requiring the patron to enter the structure. The term "open front store" shall not include automobile repair or gasoline service stations.
Parking space means a minimum area of nine feet by 20 feet. Such area shall be exclusive of drive aisles or entrances giving access thereto, and shall be fully accessible for the storage or parking of permitted vehicles.
Public utility means any person, firm or corporation, municipal department, board or commission duly authorized to furnish and furnishing under state or municipal regulations to the public: gas, steam, electricity, sewage disposal, communication, telegraph, transportation or water.
Recognizable and substantial benefit means a clear benefit, both to the ultimate users of the property in question and to the community, which would reasonably be expected to accrue, taking into consideration the reasonably foreseeable detriments of the proposed development and uses(s). Such benefits may include: long-term protection or preservation of natural resources and natural features, historical features, or architectural features; creation of valuable open space, and elimination of or reduction in the degree of nonconformity of a nonconforming use or structure.
Room means, for the purposes of determining lot area requirements and density in a multiple-family district, a living room, dining room or bedroom, equal to at least 70 square feet in area. A room shall not include the area in kitchen, sanitary facilities, utility provisions, corridors, hallways and storage. Plans presented showing one-bedroom, two-bedroom or three-bedroom units, and including a den library or other extra room shall count such extra room as a bedroom, for the purpose of computing density.
Row house means a two-story row of three or more attached, one-family dwellings, not more than two rooms deep, each unit of which extends from the basement to the roof.
Setback means the distance required to obtain minimum front, side or rear yard open space provisions of this chapter.
Sign means the use of any words, numerals, figures, devices, designs or trademarks by which anything is made known (other than billboards) such as are used to show an individual firm, profession or business and are visible to the general public.
Stable, private, means a stable for the keeping of horses for the noncommercial use of the residents of the principal use and shall not include the keeping of horses for others, or for commercial boarding.
Story means that part of a building, except a mezzanine included between the surface of one floor and the surface of the next floor, or if there is no floor above, then the ceiling next above. A story thus defined shall not be counted as a story when more than 50 percent, by cubic content, is below the height level of the adjoining ground.
Story, half, means an uppermost story lying under a sloping roof, the usable floor area of which, at a height of four feet above the floor does not exceed two-thirds of the floor area in the story directly below, and the height above at least 200 square feet of floor space is seven feet, six inches.
Street means a public thoroughfare which affords the principal means of access to abutting property.
Structure means anything constructed or erected, the use of which requires location on the ground or attachment to something having location on the ground.
Temporary use or building means a use or building permitted by the board of appeals to exist during periods of construction of the main building or use or for special events.
Terrace means a one-story or two-story row of three or more attached, one-family dwellings, not more than two rooms deep and having the total dwelling space on one floor.
Townhome means an attached dwelling unit extending from the foundation upwards to its roof as would a row house, units are not stacked over one another. The purpose of such dwellings is to provide for residential family living units in two to four unit structures.
Transition or transitional means a zoning district, a landscaped area, lotting arrangement, wall or other means which may serve as a district or area transition, i.e., a buffer zone between various land use districts and/or land use types or thoroughfares.
Usable floor area means, for the purposes of computing parking, that area used for or intended to be used for the sale of merchandise or services or for use to serve patrons, clients or customers. Such floor area which is used or intended to be used principally for the storage or processing of merchandise, or for utilities, shall be excluded from this computation of "usable floor area." Measurement of floor area shall be the sum of the gross horizontal areas of the several floors of the building, measured from the interior faces of the exterior walls.
Use means the purpose for which land or a building is arranged, designed or intended, or for which land or a building is or may be occupied.
Variance means a modification of the literal provisions of this chapter granted when strict enforcement of this chapter would cause undue hardship owing to circumstances unique to the individual property on which the variance is granted. The crucial points of variance are undue hardship, unique circumstances and applying to property. A variance is not justified unless all three elements are present in the case.
Yards means the open spaces on the same lot with a main building, unoccupied and unobstructed from the ground upward except as otherwise provided in this chapter, and as defined as follows:
(1)
Front yard. The term "front yard" shall mean an open space extending the full width of the lot, the depth of which is the minimum horizontal distance between the front lot line and the nearest line of the main building.
(2)
Rear yard. The term "rear yard" shall mean an open space extending the full width of the lot, the depth of which is the minimum horizontal distance between the rear lot line and the nearest line of the main building.
(3)
Side yard. The term "side yard" shall mean an open space between a main building and the side lot line, extending from the front yard to the rear yard, the width of which is the horizontal distance from the nearest point of the side lot line to the nearest point of the main building.
Yards
Generally. The term "person" shall include a firm, association, organization, partnership, trust, company, or corporation as well as an individual. The present tense includes the future tense. The singular number includes the plural, and the plural number includes the singular. The word "shall" is mandatory, and the word "may" is permissive. The words "used" or "occupied" include the words "intended," "designed" or "arranged" to be used or occupied. The word "building" includes the word "structure," and the word "dwelling" includes the word "residence." The word "lot" includes the words "plot" or "parcel."
(Ord. of 11-1-1967, § 2.0; Ord. No. 20-19, § 1, 3-20-1971; Ord. No. 20-34, § 1, 12-28-1973; Ord. of 8-6-1977, § 1; Ord. of 10-18-1977, §§ 3—18; Ord. of 5-3-1983, §§ 1—3; Ord. of 6-20-1989, § 1; Ord. No. 08-169, 10-7-2008; Ord. No. 16-082, § 1, 7-5-2016)
Cross reference— Definitions generally, § 1-2.
- IN GENERAL
The purpose of this chapter is to promote the public health, safety and general welfare of the community and a wholesome, serviceable and attractive municipality, by having regulations and restrictions that increase the safety and security of home life; that preserve and create a more favorable environment in which to rear children; that develop permanent good citizenship; that stabilize and enhance property and civic values; that facilitate adequate provisions for increased safety in traffic and transportation; that provide for vehicular parking, parks, parkways, recreation, schools, public buildings, housing, light, air, water supply, sewage, sanitation and other public requirements; that lessen congestion, disorder and danger which often inhere in unregulated municipal development; that prevent overcrowding of land and undue concentration of population; that assist in carrying out a master plan of the municipality; and that provide more reasonable and serviceable means and methods of protecting and safeguarding the economic structure upon which the good of all depends. In order to more effectively protect and promote the general welfare and to accomplish the aims and purposes of this comprehensive plan, the municipality is divided into districts of such number, shape and area, and of such common unity of purpose, adaptability or use, that are deemed most suitable to provide for the best general civic use, protect the common rights and interests within each district, preserve the general rights and interests of all, and to promote improved wholesome, sightly, harmonious and economic results in civic service, activities and operations; and by further regulations to limit the location, uses and occupancy of buildings, structures and land to be used for trade, industry, residence or other purposes, and also the location, height, bulk, occupancy and uses of buildings and other structures, including the percentage of lot occupancy and coverage, street setback lines, sizes of yards, and other open spaces.
(Ord. of 11-1-1967, § 1.2)
(a)
Rules of construction. The following rules of construction apply to the text of this chapter:
(1)
The particular shall control the general.
(2)
In the case of any difference of meaning or implication between the text of this chapter and any caption or illustration, the text shall control.
(3)
The word "shall" is always mandatory and not discretionary. The word "may" is permissive.
(4)
Words used in the present tense shall include the future; and words used in the singular number shall include the plural, and the plural the singular, unless the context clearly indicates the contrary.
(5)
A "building" or "structure" includes any of its parts.
(6)
The phrase "used for" includes "arranged for," "designed for," "intended for," "maintained for" or "occupied for."
(7)
The word "person" includes an individual, a corporation, a partnership, an incorporated association, or any other similar entity.
(8)
Unless the context clearly indicates the contrary, where a regulation involves two or more items, conditions, provisions, or events connected by the conjunction "and," "or," or "either…or," the conjunction shall be interpreted as follows:
a.
The term "and" indicates that all the connected items, conditions, provisions, or events shall apply.
b.
The term "or" indicates that the connected items, conditions, provisions or events may apply singly or in any combination.
c.
The term "either…or" indicates that the connected items, conditions, provisions or events shall apply but not in combination.
(9)
Terms not defined in this section shall have the meaning customarily assigned to them.
(b)
Definitions. The following words, terms and phrases, when used in this chapter, shall have the meanings ascribed to them in this subsection, except where the context clearly indicates a different meaning:
Accessory use or accessory means a use which is clearly incidental to, customarily found in connection with, and located on the same zoning lot, unless otherwise specified as the principal use to which it is related. When the term "accessory" is used in this text, it shall have the same meaning as "accessory use." An accessory use includes, but is not limited to, the following:
(1)
Residential accommodations for servants and/or caretakers.
(2)
Swimming pools for the use of the occupants of a residence, or their guests.
(3)
Domestic or agricultural storage in a barn, shed, tool room, or similar accessory building or other structure.
(4)
A newsstand primarily for the convenience of the occupants of a building, which is located wholely within such a building and has no exterior signs or displays.
(5)
Storage of merchandise normally carried in stock in connection with a business or industrial use, unless such storage is excluded in the applicable district regulations.
(6)
Storage of goods used in or produced by industrial uses or related activities, unless such storage is excluded in the applicable district regulations.
(7)
Accessory off-street parking spaces, open or enclosed, subject to the accessory off-street parking regulations for the district in which the zoning lot is located.
(8)
Uses clearly incidental to main use such as, but not limited to, offices of an industrial or commercial complex located on the site of the commercial or industrial complex.
(9)
Accessory off-street loading, subject to the off-street loading regulations for the district in which the zoning lot is located.
(10)
Accessory signs, subject to the sign regulations for the district in which the zoning lot is located.
Alley means any dedicated public way affording a secondary means of access to abutting property, and not intended for general traffic circulation.
Alterations means any change, addition or modification in construction or type of occupancy, any change in the structural members of a building, such as walls or partitions, columns, beams or girders, the consummated act of which may be referred to in this chapter as "altered" or "reconstructed."
Apartments means the dwelling units in a multiple dwelling as defined in this definition:
(1)
Efficiency apartment. The term "efficiency apartment" shall mean a dwelling unit containing not over 350 square feet of net floor area, and consisting of not more than one room in addition to kitchen and necessary sanitary facilities.
(2)
One-bedroom unit. The term "one-bedroom unit" shall mean a dwelling unit containing a minimum net floor area of at least 500 square feet per unit, consisting of not more than two rooms in addition to kitchen and necessary sanitary facilities.
(3)
Two-bedroom unit. The term "two-bedroom unit" shall mean a dwelling unit containing a minimum net floor area of at least 700 square feet per unit, consisting of not more than three rooms in addition to kitchen and necessary sanitary facilities.
(4)
Three- or more bedroom unit. The term "three- or more bedroom unit" shall mean a dwelling unit wherein for each room, in addition to the three rooms permitted in a two-bedroom unit, there shall be provided an additional area of 150 square feet to the minimum net floor area of 700 square feet.
Arcade means any premises open to the public wherein are assembled six or more mechanical or electronic amusement devices operated for use as a game, amusement, for information, or contest of any description.
Auto repair station means a place where, along with the sale of engine fuels, the following services may be carried out: general repair, engine rebuilding, rebuilding or reconditioning of motor vehicles; collision service, such as body, frame, or fender straightening and repair; overall painting and undercoating of automobiles.
Auto service station means a place where gasoline, or any other automobile engine fuel (stored only in underground tanks), kerosene, or motor oil and lubricants or grease (for operation of motor vehicles) are retailed directly to the public on the premises; including the sale of minor accessories and the servicing of and minor repair of automobiles.
Basement means that portion of a building which is partly or wholly below grade but so located that the vertical distance from the average grade to the floor is greater than the vertical distance from the average grade to the ceiling. A basement shall not be counted as a story.
Berms means earth mound used to cause transition between residential and nonresidential development, and between residential development and major or secondary thoroughfares. Such berm shall be constructed at a slope of not more than three to one.
Billboard means any construction or portion of a construction upon which a sign or advertisement used as an outdoor display for the purpose of making anything known to the general public is affixed. This definition does not include any bulletin boards used to display official court or public office notices.
Block means the property abutting one side of a street and lying between the two nearest intersecting streets, or between the nearest such street and railroad right-of-way, unsubdivided acreage, river or live stream; or between any of the foregoing and any other barrier to the continuity of development.
Building means any structure, either temporary or permanent, having a roof supported by columns or walls, and intended for the shelter or enclosure of persons, animals, chattels or property of any kind.
Building height means the vertical distance measured from the established grade to the highest point of the roof surface for flat roofs; to the deck line of mansard roofs; and to the average height between eaves and ridge for gable, hip and gambrel roofs. Where a building is located on sloping terrain, the height may be measured from the average ground level of the grade at the building wall.
Building line means a line formed by the face of the building and for the purpose of this chapter, a building line is the same as a front setback line.
Club means an organization of persons for special purposes or for the promulgation of sports, arts, sciences, literature, politics, or the like, but not operated for profit.
Convalescent or nursing home means a structure with sleeping rooms, where persons are housed or lodged and are furnished with meals, nursing and limited medical care.
Council means the duly elected legislative body of the municipality.
Court means an open, unoccupied space, other than a yard, and bounded on at least two sides by a building. A court extending to the front yard or front lot line or to the rear yard or rear lot line is an outer court. Any other court is an inner court.
Development means the construction of a new building or other structure on a zoning lot, the relocation of an existing building on another zoning lot, or use of open land for a new use.
District means a portion of the incorporated area of the municipality within which certain regulations and requirements or various combinations apply under the provisions of the chapter.
Drive-in means a business establishment so developed that its retail or service character is dependent on providing a driveway approach or parking spaces for motor vehicles so as to serve patrons while in the motor vehicle, or at eating space provided outside the building, rather than within a building or structure, or to provide self-service for patrons and food carryout.
Dwelling, multiple-family, means a building, or a portion of a building, designed exclusively for occupancy by three or more families, living independently of each other.
Dwelling, one-family, means a building designed exclusively for and occupied exclusively by one family.
Dwelling, two-family, means a building designed exclusively for occupancy by two families, living independently of each other.
Dwelling unit means a building, or a portion of a building, designed for occupancy by one family for residential purposes and having cooking facilities.
Dwelling unit, manufactured, means a dwelling unit which is substantially built, constructed, assembled and finished off the premises upon which it is intended to be located and shall include a mobile home.
Dwelling unit, site-built, means a dwelling unit which is substantially built, constructed, assembled and finished on the premises which are intended to serve as its final location. Site-built dwelling units shall include dwelling units constructed of precut materials, and panelized wall, roof and floor sections when such sections require substantial assembly and finishing on the premises which are intended to serve as its final location.
Erected means built, constructed, altered, reconstructed, moved upon, or any physical operations on the premises which are required for the construction. Excavation, fill, drainage, and the like, shall be considered a part of erection.
Essential services means the erection, construction, alteration or maintenance by public utilities or municipal departments of underground, surface or overhead, gas, electrical, steam, fuel or water transmission or distribution systems, collection, communication, supply or disposal systems, including poles, wires, mains, drains, sewers, pipes, conduits, cables, fire and police call boxes, traffic signals, hydrants, and similar accessories in connection therewith, but not including, buildings, towers or substations, which are necessary for the furnishing of adequate service by such utilities or municipal departments for the general health, safety or welfare.
Excavation means any breaking of ground, except common household gardening and ground care.
Exception means a use permitted only after review of an application by the board of appeals or commission other than the administrative official (building inspector), such review being necessary because the provisions of the chapter covering conditions, precedent or subsequent, are not precise enough to all applications without interpretation, and such review is required by this chapter.
Family means one or two persons or parents, with their direct lineal descendants and adopted children (and including the domestic employees of such persons) together with not more than two persons not so related, living together in the whole or part of a dwelling comprising a single housekeeping unit. Every additional group of two or less persons living in such housekeeping unit shall be considered a separate family for the purpose of this chapter.
Farm means all of the contiguous neighboring or associated land operated as a single unit on which bona fide normal and traditional farming is carried on directly by the owner-operator, manager or tenant farmer, by his own labor or with the assistance of members of his household or hired employees; provided, however, that land to be considered a farm shall include the active use of ten acres or more in area. Farms may be considered as including establishments operated as bona fide greenhouses; truck farms; nurseries; orchards; dairies; and raising of crops, traditional farm animals and farm produce. The term "normal and traditional farming" is not intended, nor implied, to include forms of animal feed lots, animal confinement facilities, intensive farming or other types of activities which emit offensive odors and/or are obnoxious, detrimental or dangerous to the public health, safety or welfare, or interfere with the peaceful enjoyment of property. Any such use shall only be permitted after it has been fully documented and demonstrated that the use does not conflict with, or constitute a likely impairment or infringement upon, any of the foregoing concerns. A bona fide traditional farm includes those farm buildings, activities and equipment essential to such farming activities; it is not intended, nor implied, to permit trucking, equipment and/or vehicle repairs and/or sales, storage, contractors' yards or any similar activities other than those clearly incidental to the bona fide farm operation.
Filling means depositing or dumping of any matter onto, or into the ground, except common household gardening and ground care.
Floor area means, for the purposes of computing the minimum allowable floor area in a residential dwelling unit, the sum of the horizontal areas of each story of the building measured from the interior faces of the exterior walls. The floor area measurement is exclusive of areas of basements, unfinished attics, attached garages, breezeways, and enclosed and unenclosed porches.
Garage, private, means an accessory building or portion of a main building designed or used solely for the storage of motor-driven vehicles, boats and similar vehicles owned and used by the occupants of the building to which it is accessory.
Garage, service, means any premises used for the storage or care of motor-driven vehicles or where any such vehicles are equipped for operation, repairs or kept for remuneration, hire or sale.
Grade means that the established grade is the mean elevation of the centerline of the existing street or road along the front of the lot, or as established by the municipality. The reference level for any building within ten feet of the front lot line is the official established grade opposite the center of the front of such building. For any building more than ten feet from the front lot line, or where no grade is established, the reference level is the mean level of the finished grade of the ground across the front of such building. When the mean finished grade about any portion of a building varies five feet or more from that at the front, such mean may be taken as the reference level for such portion of such building.
Junkyard means an open area where waste or used or secondhand materials are bought and sold, exchanged, stored, baled, packed, disassembled or handled including, but not limited to, scrap iron and other metals, paper, rags, rubber tires, and bottles. A junkyard includes automobile wrecking yards and includes any area of more than 200 square feet for storage, keeping or abandonment of junk but does not include uses established entirely within enclosed buildings.
Kennel, commercial, means any lot or premises on which three or more dogs, cats or other household pets are either permanently or temporarily boarded.
Loading space means an off-street space on the same lot, with a building or group of buildings, for the temporary parking of a commercial vehicle while loading and unloading merchandise or materials.
Lot means a parcel of land occupied by a main building or a group of such buildings and accessory buildings, or utilized for the principal use and uses accessory thereto, together with such open spaces as are required under the provisions of this chapter. A lot may or may not be specifically designated as such on public records.
Lot area means the total horizontal area within the lot lines of the lot.
Lot, corner, means a lot where the interior angle of two adjacent sides at the intersection of two streets is less than 135 degrees. A lot abutting upon a curved street shall be considered a corner lot for the purposes of this chapter if the arc is of less radius than 150 feet and the tangents to the curve, at the two points where the lot lines meet the curve or the straight street line extended, form an interior angle of less than 135 degrees.
Lot coverage means that part or percent of the lot occupied by buildings, including accessory buildings.
Lot depth means the horizontal distance between the front and rear lot lines, measured along the median between the side lot lines.
Lot, double frontage, means any interior lot having frontages on two more or less parallel streets as distinguished from a corner lot. In the case of a row of double frontage lots, all sides of such lots adjacent to streets shall be considered frontage, and front yards shall be provided as required.
Lot, interior, means any lot other than a corner lot.
Lot lines means the lines bounding a lot as defined in this definition:
(1)
Front lot line. In the case of an interior lot: that line separating such lot from the street. In the case of a through lot: that line separating such lot from either street.
(2)
Rear lot line. The term "rear lot line" shall mean that lot line opposite the front lot line. In the case of a lot pointed at the rear, the rear lot line shall be an imaginary line parallel to the front lot line, not less than ten feet long lying farthest from the front lot line and wholly within the lot.
(3)
Side lot line. The term "side lot line" shall mean any lot line other than the front lot line or rear lot line. A side lot line separating a lot from a street is a side street lot line. A side lot line separating a lot from another lot is an interior side lot line.
Lot of record means a parcel of land, the dimensions of which are shown on a recorded plat on file with the county register of deeds, at the time of inception of this chapter, or in common use by municipal or county officials, and which actually exists as so shown, or any part of such parcel held in a record ownership separate from that of its remainder.
Lot width (and the method of measuring minimum lot width) means as follows: For those lots whose side lot lines are parallel or where distance between side lot lines is less at the front lot line than at the rear lot line, the lot width shall be a straight line (chord) measurement between the two points where the minimum required front yard setback is located on the side lot lines. On those lots where the distance between side lot lines is less at the rear lot line than at the front lot line, the lot width shall be a straight line (chord) measurement between points on the side lot lines which are 50 feet back from the front lot lines.
Lot, zoning, means a single tract of land, located within a single block, which, at the time of filing for a building permit, is designated by its owner or developer as a tract to be used, developed or built upon as a unit, under single ownership or control. A zoning lot shall satisfy this chapter with respect to area, size dimensions, and frontage as required in the district in which the zoning lot is located. A zoning lot, therefore, may not coincide with a lot of record as filed with the county register of deeds, but may include one or more lots of record.
Main building means a building in which is conducted the principal use of the lot upon which it is situated.
Main use means the principal use to which the premises are devoted and the principal purpose for which the premises exist.
Major thoroughfare means an arterial street which is intended to serve as a large volume trafficway for both the immediate area and the region beyond, and may be designated as a major thoroughfare, parkway, freeway, expressway or equivalent term to identify those streets comprising the basic structure of the street plan. Any street with a width, existing or proposed, of 120 feet shall be considered a major thoroughfare.
Marginal access drive means a public or private street or drive parallel to a major or secondary thoroughfare, which provides access to abutting property.
Master plan means the comprehensive plan including graphic and written proposals indicating the general location for streets, parks, schools, public buildings and all physical development of the municipality, and includes any unit or part of such plan, and any amendment to such plan or parts of such plan. Such plan may or may not be adopted by the planning commission and/or council.
Mezzanine means an intermediate floor in any story occupying not to exceed one-third of the floor area of such story.
Mobile home means any structure, transportable in one or more sections, which is built on a chassis and designed to be used as a dwelling with or without permanent foundation, when connected to the required utilities, and includes the plumbing, heating, air conditioning and electrical systems contained in the structure. Mobile home does not include a recreational vehicle.
Mobile home park means any parcel or tract of land under the control of any person upon which provision is made for 75 or more mobile homes to be harbored or occupied, and not including sales or service.
Motel, hotel and residence inns means a series of attached, semidetached or detached rental units which provide temporary living accommodations. Any such temporary living facilities are generally developed at higher densities and are located in nonresidential areas; permanent living quarters are limited to those necessary for management purposes only. Permissible accessory uses include those deriving a majority of their use by resident guest. Within this context, hotels, motels and residence inns may include the following types of facilities:
(1)
Hotels (including motor hotels) which provide guestrooms together with doorman, porter and/or bellboy services and accessory facilities. Food and beverage services are provided primarily in centralized facilities as opposed to rooms and/or suites containing individual kitchen and dining facilities.
(2)
Motels providing rooms and services similar to those of a hotel with the exception that guests are primarily responsible for doorman and bellboy functions.
(3)
Residence inns provide guestrooms and/or suites with most units featuring individual kitchens and dining facilities. Since such units are more self-sufficient in nature, the size and scale of accessory uses is less than the other transient facilities indicated in subsections (1) and (2) of this definition.
Municipality means the city.
Nonconforming building means a building or portion of a building existing at the effective date of this chapter, or amendments thereto, and that does not conform to the provisions of the chapter in the district in which it is located.
Nonconforming use means a use which lawfully occupied a building or land at the effective date of this chapter, or amendments thereto, and that does not conform to the use regulations of the district in which it is located.
Nursery, plant material, means a space, building or structure, or combination, for the storage of live trees, shrubs or plants offered for retail sale on the premises including products used for gardening or landscaping. The definition of nursery within the meaning of this chapter does not include any space, building or structure used for the sale of fruits, vegetables or Christmas trees.
Off-street parking lot means a facility providing vehicular parking spaces along with adequate drives and aisles, for maneuvering, so as to provide access for entrance and exit for the parking of more than two vehicles.
Open front store means a business establishment so developed that service to the patron may be extended beyond the walls of the structure, not requiring the patron to enter the structure. The term "open front store" shall not include automobile repair or gasoline service stations.
Parking space means a minimum area of nine feet by 20 feet. Such area shall be exclusive of drive aisles or entrances giving access thereto, and shall be fully accessible for the storage or parking of permitted vehicles.
Public utility means any person, firm or corporation, municipal department, board or commission duly authorized to furnish and furnishing under state or municipal regulations to the public: gas, steam, electricity, sewage disposal, communication, telegraph, transportation or water.
Recognizable and substantial benefit means a clear benefit, both to the ultimate users of the property in question and to the community, which would reasonably be expected to accrue, taking into consideration the reasonably foreseeable detriments of the proposed development and uses(s). Such benefits may include: long-term protection or preservation of natural resources and natural features, historical features, or architectural features; creation of valuable open space, and elimination of or reduction in the degree of nonconformity of a nonconforming use or structure.
Room means, for the purposes of determining lot area requirements and density in a multiple-family district, a living room, dining room or bedroom, equal to at least 70 square feet in area. A room shall not include the area in kitchen, sanitary facilities, utility provisions, corridors, hallways and storage. Plans presented showing one-bedroom, two-bedroom or three-bedroom units, and including a den library or other extra room shall count such extra room as a bedroom, for the purpose of computing density.
Row house means a two-story row of three or more attached, one-family dwellings, not more than two rooms deep, each unit of which extends from the basement to the roof.
Setback means the distance required to obtain minimum front, side or rear yard open space provisions of this chapter.
Sign means the use of any words, numerals, figures, devices, designs or trademarks by which anything is made known (other than billboards) such as are used to show an individual firm, profession or business and are visible to the general public.
Stable, private, means a stable for the keeping of horses for the noncommercial use of the residents of the principal use and shall not include the keeping of horses for others, or for commercial boarding.
Story means that part of a building, except a mezzanine included between the surface of one floor and the surface of the next floor, or if there is no floor above, then the ceiling next above. A story thus defined shall not be counted as a story when more than 50 percent, by cubic content, is below the height level of the adjoining ground.
Story, half, means an uppermost story lying under a sloping roof, the usable floor area of which, at a height of four feet above the floor does not exceed two-thirds of the floor area in the story directly below, and the height above at least 200 square feet of floor space is seven feet, six inches.
Street means a public thoroughfare which affords the principal means of access to abutting property.
Structure means anything constructed or erected, the use of which requires location on the ground or attachment to something having location on the ground.
Temporary use or building means a use or building permitted by the board of appeals to exist during periods of construction of the main building or use or for special events.
Terrace means a one-story or two-story row of three or more attached, one-family dwellings, not more than two rooms deep and having the total dwelling space on one floor.
Townhome means an attached dwelling unit extending from the foundation upwards to its roof as would a row house, units are not stacked over one another. The purpose of such dwellings is to provide for residential family living units in two to four unit structures.
Transition or transitional means a zoning district, a landscaped area, lotting arrangement, wall or other means which may serve as a district or area transition, i.e., a buffer zone between various land use districts and/or land use types or thoroughfares.
Usable floor area means, for the purposes of computing parking, that area used for or intended to be used for the sale of merchandise or services or for use to serve patrons, clients or customers. Such floor area which is used or intended to be used principally for the storage or processing of merchandise, or for utilities, shall be excluded from this computation of "usable floor area." Measurement of floor area shall be the sum of the gross horizontal areas of the several floors of the building, measured from the interior faces of the exterior walls.
Use means the purpose for which land or a building is arranged, designed or intended, or for which land or a building is or may be occupied.
Variance means a modification of the literal provisions of this chapter granted when strict enforcement of this chapter would cause undue hardship owing to circumstances unique to the individual property on which the variance is granted. The crucial points of variance are undue hardship, unique circumstances and applying to property. A variance is not justified unless all three elements are present in the case.
Yards means the open spaces on the same lot with a main building, unoccupied and unobstructed from the ground upward except as otherwise provided in this chapter, and as defined as follows:
(1)
Front yard. The term "front yard" shall mean an open space extending the full width of the lot, the depth of which is the minimum horizontal distance between the front lot line and the nearest line of the main building.
(2)
Rear yard. The term "rear yard" shall mean an open space extending the full width of the lot, the depth of which is the minimum horizontal distance between the rear lot line and the nearest line of the main building.
(3)
Side yard. The term "side yard" shall mean an open space between a main building and the side lot line, extending from the front yard to the rear yard, the width of which is the horizontal distance from the nearest point of the side lot line to the nearest point of the main building.
Yards
Generally. The term "person" shall include a firm, association, organization, partnership, trust, company, or corporation as well as an individual. The present tense includes the future tense. The singular number includes the plural, and the plural number includes the singular. The word "shall" is mandatory, and the word "may" is permissive. The words "used" or "occupied" include the words "intended," "designed" or "arranged" to be used or occupied. The word "building" includes the word "structure," and the word "dwelling" includes the word "residence." The word "lot" includes the words "plot" or "parcel."
(Ord. of 11-1-1967, § 2.0; Ord. No. 20-19, § 1, 3-20-1971; Ord. No. 20-34, § 1, 12-28-1973; Ord. of 8-6-1977, § 1; Ord. of 10-18-1977, §§ 3—18; Ord. of 5-3-1983, §§ 1—3; Ord. of 6-20-1989, § 1; Ord. No. 08-169, 10-7-2008; Ord. No. 16-082, § 1, 7-5-2016)
Cross reference— Definitions generally, § 1-2.