020 - INTERPRETATION AND DEFINITIONS
A.
Definitions and usage. For the purposes of this title, all words and terms used in this title are limited to the meanings given to them by this section or as specifically provided in another Section of this title. Words and terms that are defined in another Section of this title relate specifically to that Section. Words or terms that are not defined shall be given their common dictionary definition. Unless the context clearly indicates to the contrary, the following interpretations apply:
1.
Words used in the present tense shall include the future tense;
2.
Words used in the singular shall include the plural and words used in the plural shall include the singular; and
3.
The word "shall" is mandatory;
4.
The word "may" is permissive;
5.
Reserved;
6.
The word "Governing Body" means the City Council;
7.
The word "Commission" means the Planning Commission;
8.
Unless otherwise specified, all distances shall be measured horizontally;
9.
The word "City" means City of Collinsville, Illinois.
B.
Definitions in other chapters. If a word or term is not defined in this section but is defined elsewhere in this title or in the Collinsville Municipal Code, that definition shall be applicable unless the context indicates that a standard dictionary definition is more appropriate.
C.
Joint ownership. Where this title permits or requires an act on the part of an "owner" or "landowner," and a particular lot or tract of land is owned by several persons, whether in joint tenancy, tenancy in common, partnership, joint venture or other form of joint ownership, the act shall be taken on behalf of, and with the express written consent of, all such persons, which written consent shall be provided to the City.
D.
Interpretation.
1.
Minimum requirements. In their interpretation and application, the provision of these regulations shall be held to be the minimum requirements for the promotion of the public health, safety, quality of life and welfare.
2.
Overlapping or contradictory regulations. Where the conditions imposed by any provision of these regulations upon the use of land or structures are either more restrictive or less restrictive than comparable conditions imposed by other provision of any other law, ordinance, resolution, rule or regulations of any kind, the regulations which are more restrictive shall govern.
3.
Private agreement. These regulations are not intended to abrogate, annul or otherwise interfere with any easement, covenant or any other private agreement of legal relationship; provided, however, that where the provisions of these regulations are more restrictive (or impose higher standards or requirements) than such easements, covenants or other private agreements or legal relationships, the provisions of these regulations shall govern.
4.
Unlawful uses. Any structure or use which was not lawfully existing at the time of the adoption of these regulations shall become or be made lawful solely by reason of the adoption of these regulations; and to the extent that, and in any respect that, said unlawful structure or use is in conflict with the requirements of these regulations, said structure or use remains unlawful hereunder.
(Zoning Ord. 2009, § 17.020.010; Ord. No. 19-85, § 10, 11-25-2019)
The following words, terms and phrases, when used in this title, shall have the meanings ascribed to them in this section, except where the context clearly indicates a different meaning:
Abutting means to physically touch or border upon; to share a common property line but not overlap. For the purposes of this ordinance, a zoning lot line shall be considered to abut a zoning district line even though it may be separated therefrom by a street, parkway, sidewalk, public way, alley, waterway, railroad right-of-way or portion thereof. "Adjacent," "adjoining" and "contiguous" shall have the same meaning as "abutting."
Accessory use means a use incidental to, and on the same lot as, a principal use.
Adult means a person eighteen (18) years of age or older.
Adult bookstore See the City's Adult Use Ordinance Number 3326.
Adult entertainment business See Adult Use Ordinance Number 3326.
Alley means A minor way that is used primarily for vehicular service access to the back or side of properties otherwise abutting on a street.
Alteration means as applied to a building or structure means a change or re-arrangement in the structural parts; or an enlargement, whether by extending on a side or by increasing in height; or the moving from one (1) location or position to another.
Antique means a product that is sold or exchanged because of value derived or because of oldness as respects the present age, and not simply because the same is not a new product.
Antique/collectible shop means any premises used for the sale, purchase, or trading of articles of which eight (80) percent or more are over fifty (50) years old or have collectible value. Also includes the sale, purchase, or trading of rare coins, stamps, and previously owned games, books, videos and other media. This use excludes precious metal and gem buying establishments, pawn shops, secondhand stores, and adult entertainment businesses.
Apartment See dwelling, multi-family.
Applicant means the owner or duly designated representative of land proposed to be subdivided, or for which a special use permit, amendment, variance, construction permit, or certificate of occupancy has been requested. Consent shall be required from the legal owner of the premises.
Area, buildable means the area of a lot remaining after the minimum yard and open space requirements of the Zoning Code have been met.
Artisan/maker means a person or company that makes a high-quality or distinctive product in small quantities, usually by hand or using traditional methods including, but not limited to craftwork, furniture; decorative arts; sculptures; clothing; jewelry; household items, mechanisms, and tools; and food and beverages manufacturers, including producers of distilled spirits, beer, and wine.
Artisan/maker boutique (retail trade and no-impact manufacturing means a retail trade establishment, purveying goods produced primarily on premises by artisan/makers (as defined herein), that may include facilities for the design, processing, fabrication, assembly, treatment, and packaging of such goods; as well as the storage, sales and distribution thereof. Artisan/maker boutiques may include classroom space, meeting rooms, and offer facility tours. This use does not include restaurants with accessory on-site distillation of spirits, brewing of beer, or fermentation of wine.
Basement means a floored and walled substructure of a building at least fifty (50) percent below the average finished grade of the building.
Block means a piece or parcel of land entirely surrounded by public highways or streets, other than alleys. In cases where the platting is incomplete or disconnected, the Community Development Director shall determine the outline of the block.
Block face means one (1) side of a block that includes the portion of a block that abuts a street up to the nearest intersecting street.
Building means any structure which is built for the support, enclosure, shelter, or protection of persons, animals, chattels, or movable property of any kind, and which is permanently affixed to the land; including structures designed and constructed in sections expressly for assembly and placement on a permanent perimeter foundation, with any transport equipment being readily detachable and designed for delivery purposes only, if said structure is placed on such foundation with all transport equipment permanently removed. A trailer as herein defined shall not be classified as a building.
Building coverage means the ratio of the horizontal area measured from the exterior surface of the exterior walls of the ground floor of all principal and accessory buildings on a lot to the total lot area.
Building line means A line parallel to a street right-of-way line, edge of a stream, or other property line established on a parcel of land or lot for the purpose of prohibiting construction of a building or structure in the area between such building line and right-of-way, streambank, or other property line.
Building, accessory means A subordinate building detached from but located on the same lot occupied by the main building, the use of which is customarily incidental and subordinate to the main building or use.
Building, main or principal means A structure in which the principal use of the lot is conducted.
Building official means the appointed Building Official (Building Inspector) of the City of Collinsville.
Building, temporary means A building without any foundation or footings that is intended to be placed or affixed temporarily and which will be removed when the designated time period, activity, or use for which it was erected has ceased.
Buffer means open spaces, landscaped areas, fences, walls, berms, or any combination thereof used to physically separate or screen one (1) use or property from another so as to visually shield or block noise, lights or other nuisances.
Chicken means the female of the species Gallus Domesticas. For purposes of this Code, the term chicken shall be limited to the female gender (hens) and shall not include the male gender (roosters) regardless of the species.
City Council means the elected governing body of the City of Collinsville.
Civil construction plan means an engineered drawing and support documentation containing all information required for the site plan, locations, standard details, and specifications for the construction of all private infrastructure, and for the construction of required utilities or other public improvements where there has been no subdivision of land and/or improvement plans as required per Chapter 16.12, The Subdivision Process, of the Land Subdivision Control Regulations of Collinsville, Madison and St. Clair Counties, Illinois; and shall be subject to all the requirements contained therein.
Cluster development means the arrangement of buildings or structures in groups around common courts, driveways, parks or other unique features of the land permitting more latitude and flexibility in placement and design. The lots, buildings or structures in a cluster development must meet the requirements of the appropriate planned districts.
Coin and/or philatelic shop. See "antique/collectible shop".
Collectible means a product which due to its demand has attained value in a recognized commercial market which is in excess of its original value.
Commercial vehicle means Any motor vehicle having at least one (1) of the following attributes:
A.
Having a gross weight, whether loaded or unloaded, in excess of twenty thousand (20,000) pounds or exceeding twenty-two (22) feet in length and designed to carry, haul or tow passengers, freight, or merchandise;
B.
Any tractor, backhoe, blade, bucket, bulldozer, compactor, crane scraper, excavator, front-end loader, or other construction equipment or attachment;
C.
Any tow truck, dump truck, stake-bed truck, flat-bed truck, step van, refuse or garbage truck, bus, or special purpose vehicle in excess of ten (10) feet in total length; or
D.
Any agricultural tractor, farm implement or attachment, moving equipment or attachment, bush hog, trimmer, spreader and other lawn, landscape and turf maintenance equipment or attachments or other similar equipment. For purposes of this definition, a commercial motor vehicle and/or commercial vehicle does not include recreational vehicles for personal use, nor pickup trucks or panel vans utilized for personal use or for commercial uses when driven by the resident of the dwelling unit where the vehicle is parked on a daily or similar regular basis nor lawn, landscape and turf maintenance equipment or attachments or other similar equipment used to maintain property on which the equipment is kept.
Common open space means an area of land or water or combination thereof planned for passive or active recreation, but does not include areas utilized for streets, alleys, driveways or private roads, off-street parking or loading areas. However, the area of recreational activities such as swimming pools, tennis courts, shuffleboard courts, etc., may be included as common open space.
Communication tower means commercial AM/FM radio, television, microwave and cellular telephone transmission towers and accessory equipment and buildings.
Community development director means the appointed Community Development Director of the City of Collinsville.
Comprehensive plan means A comprehensive plan made and adopted by the Planning Commission and the City Council which, through a combination of text, charts and maps, sets forth proposals for general locations of various land uses, including streets, parks, schools, public buildings, and utilities.
Contractor means any person or firm that undertakes with or for another to construct, alter, repair, or demolish any structure or any portion thereof including every i) plumbing contractor, ii) electrical contractor, iii) mechanical heating, ventilation, and air conditioning ("HVAC") contractor, and iv) general contractor, building contractor, residential contractor, and landscape contractor, as well as heavy construction contractors engaged in activities such as paving, highway construction, and utility construction.
Curb level means the mean level of the curb in front of the lot or in case of a corner lot, along that abutting street where the mean curb level is the highest.
Dedication means intentional transfer by the developer to the public of ownership of, or an interest in, land for public purpose. Dedication may be affected by compliance with statutes relating to dedication of land, by formal deed by conveyance, or by any other method recognized by the laws of the State of Illinois.
Density, gross means the total number of dwelling units divided by the total project area, expressed as gross dwelling units per acre.
Density, net means the total number of dwelling units divided by the net project area. In determining net density, all land area associated with and accessory to the dwelling unit, including private streets and driveways, off-street parking facilities and common open space and recreational facilities, shall be included in the calculation. Net density calculations exclude rights-of-way of publicly dedicated streets and nonresidential structures, land uses and accessory facilities.
Department of Health and Environment means Madison County Health Department and/or St. Clair County Department of Public Health.
District means A section or sections of the zoning area for which uniform regulations governing the use of land, open space, the height of buildings, the size of yards and the intensity of use are herein established.
Domestic animals means animals kept exclusively for the personal enjoyment of the occupants of a principal building and including those animals normally kept as pets such as dogs, cats, birds, guinea pigs, etc.
Dwelling means a room or suite of rooms arranged, intended or designed as a place of residence; or any building or portion thereof which is designed, built, leased, rented, let, or hired to be occupied, or which is occupied as a home or residence; or a building or portion thereof, designed exclusively for residential occupancy, including one-family, two-family, and multiple-family dwellings, boarding and lodging houses. Hotels, motels, rooming houses, nursing homes, travel trailers, recreational vehicles, manufactured or mobile homes shall not be considered dwellings.
Dwelling, loft means a dwelling located above the first floor of a non-residential building.
Dwelling, multi-family means a dwelling or group of dwellings on one (1) lot containing separate living units for three (3) or more families, but which may have joint services or facilities.
Dwelling, single-family means a single structure occupied exclusively by not more than one (1) family.
Dwelling, single-family detached means a single-family dwelling that is not attached to any other dwelling by any means and is surrounded by open space or yards.
Dwelling, single-family attached villa means single-family dwelling units sharing a common wall but situated on separate and individually owned lots, each with a private exterior entrance and no other dwelling unit located above or below, designed to be occupied by separate families or individuals living together as a family.
Dwelling, two-family attached duplex means a building designed for two (2) families living independently of each other, and being located on a single lot.
Dwelling unit means one (1) room or rooms connected together constituting a separate, independent housekeeping establishment for owner occupancy, or rental or lease on a weekly, monthly or longer basis, and physically separated from any other rooms which may be in the same structure, and containing independent cooking and sleeping facilities.
Easement means a grant by a property owner to the public, a corporation, or a person(s) of the use of a described area of land for specified purposes, where fee simple title to the land remains with the property owner.
Edible good shall include, but not be limited to, the following:
A.
Prepackaged food, including, but not limited to, candy, beverages and ice cream;
B.
Prepared food, including, but not limited to, hot dogs, desserts and pizza;
C.
On-site prepared food, including, but not limited to, sandwiches, tacos and meats.
Electronic cigarette store means a specialty retail establishment that has no substantial or significant portion of its stock in anything other than electronic cigarette devices, mixtures utilized in such devices, and related accessories, such as chargers, kits, tanks, coils, replacement parts, etc., exclusive of items identified as drug paraphernalia in Chapter 9.18 of the Municipal Code of Ordinances.
Exterior setback means a required setback that fronts on a public street.
Family means one (1) or more persons who are related by blood or marriage, living together and occupying a single housekeeping unit with single kitchen facilities, or a group of not more than four (4) unrelated individuals living together by joint agreement and occupying a single housekeeping unit with single kitchen facilities, on a non-profit cost-sharing basis. A family shall under no circumstances be construed as a boarding house, fraternity or sorority house, club, lodging house, hotel or motel.
Farm animals means animals other than household pets that may, where permitted, be kept and maintained for commercial production and sale or family food production, education or recreation. Farm animals are identified by these categories means large animals, e.g., horses and cattle; medium animals, e.g., sheep, goats; or small animals, e.g., rabbits, chinchilla, chickens, turkeys, pheasants, geese, ducks and pigeons.
Fence means an enclosure or barrier such as wooden posts, wire, iron, etc., used as a boundary, means of protection, privacy screening or confinement, but not including hedges, shrubs, trees or other natural growth.
Fence height means the vertical distance measured from the side of the fence that is exterior to the property or from the lowest adjacent ground level to the top of the fence material. In the case of wire fencing, height shall be measured by the width of the material used, providing that when installed, the material is directly adjacent to the ground level.
Floor area, gross means the sum of the gross horizontal area of all floors of a building including basement areas, as measured from the interior perimeter of exterior walls. Such area shall not include the following means interior loading and parking areas, atriums except the first floor area, rooftop mechanical equipment enclosures, and the open mall walkway areas of shopping centers.
Floor area, net means the horizontal area of a floor or several floors of a building or structure; excluding those areas not directly devoted to the principal or accessory use of the building or structure, such as storage areas or stairwells, measured from the exterior faces of exterior or interior walls.
Floor area ratio (FAR) means the numerical value obtained by dividing the gross floor area of a building by the area of the lot on which the building is constructed.
Food hall means a cafeteria facility consisting primarily of three (3) or more lease areas within an enclosed building that have a shared entrance/lobby area where the primary uses are food related, but may include small retail venues, shared eating areas, and limited live entertainment. Lease areas may have access to the exterior of the building along with outside eating areas, both private and shared with other uses.
Frontage means the length of the property abutting on one (1) side of a street measured along the dividing line between the property and the street.
Garage means a deck, building, or parking structure, or part thereof, used or intended to be used for the parking and storage of vehicles.
Garage, public means a structure, or portion thereof, other than a private customer and employee garage or private residential garage, used primarily for the parking and storage of vehicles and available to the general public.
Garage, private residential means a structure that is accessory to the primary residential building or structure, located on the same lot, and that is used for the parking and storage of vehicles owned and operated by the residents thereof and that is not a separate commercial enterprise available to the general public.
Garage, private customer and employee means a structure that is accessory to a non-residential establishment, building, or use and is primarily for the parking and storage of vehicles operated by the customers, visitors, and employees of such building and that is not available to the general public.
Grade means For buildings having walls facing one (1) street only, the elevation of the sidewalk at the center of the wall facing the street shall be the grade. For buildings having walls facing more than one (1) street, the grade shall be the average of the grades (as defined in (A) above) of all walls facing each street. For buildings having no wall facing a street, the average level of the finished surface of the ground adjacent to the exterior walls of the building shall be the grade.
Group Occupancy means a residential occupancy of a structure by a group of people that does not meet the definition of Family. Tenancy is usually arranged on a monthly or longer basis. Generally, Group Occupancy structures have a common eating area and living spaces for residents, and the residents may receive care or training.
Hard-surfaced road means an all weather surface improved with asphalt, concrete, asphaltic concrete or similar material designed to City of Collinsville street standards contained in the Subdivision Ordinance.
Hazardous operation means activities that present the potential for serious hazards to human life and health. Typical uses include arsenals, atomic reactors, explosives and fireworks manufacture, hazardous waste disposal, medical waste disposal and radioactive waste handling.
Hazardous substances means any substances or materials that, by reason of their toxic, caustic, corrosive, abrasive or otherwise injurious properties, may be detrimental or harmful to the health of any person handling or otherwise coming into contact with such material or substance.
Height, building or structure means the vertical distance from finished grade to the highest point of the roof of a building or highest point of any permanent part of a structure other than a building. Height measurements shall be taken from the average elevation of the finished grade at the front of a building or structure, except that where no front is specified or evident, such measurement shall be taken from the average elevations of the surrounding finished grade.
Home occupation means an occupation carried on in a dwelling unit by the resident thereof; provided that the use is limited in extent and incidental and secondary to the use of the dwelling unit for residential purposes and does not change the character thereof.
Infill development means construction on an existing vacant lot on an existing street in an existing neighborhood or developed area. Infill development shall also include lots where more than fifty (50) percent of the primary structure is altered.
Institutional use means a nonprofit, religious, or public use, such as a church, library, public or private school, hospital, or government owned or operated building, structure, or land used for public purpose.
Interior setback means a required setback that does not front on a public street.
Jewelry store means a business primarily engaged in the on-premises retail sale of new jewelry and watches, and may include the retail sale of clocks. Accessory to the primary use of the sale of new material may be the sale of used jewelry from estate sales or reconstituted precious metals and gems/stones purchased and handcrafted by the business into jewelry forms. Such establishments may also provide repair and lapidary services.
Junk means any worn out or discarded materials including, but not necessarily limited to, scrap metal, inoperable motor vehicles and parts, construction material, household wastes, including garbage and discarded appliances, and yard debris.
Kennel means the use of land or buildings for the purpose of selling, breeding, boarding, sitting, or training dogs or cats or both, or the keeping of four (4) or more dogs over four (4) months of age, or the keeping of six (6) or more cats over four (4) months of age, or the keeping of more than six (6) dogs and cats combined, neither component being permitted to exceed the four (4) dogs or six (6) cats. The word "selling" as herein used shall not be construed to include the sale of animals four (4) months of age or younger which are the natural increase of animals kept by persons not operating a kennel as herein defined.
Lot means a designated parcel, tract or other area of land established by a plat as permitted by law and intended to be used, developed, or built upon as a unit under single ownership.
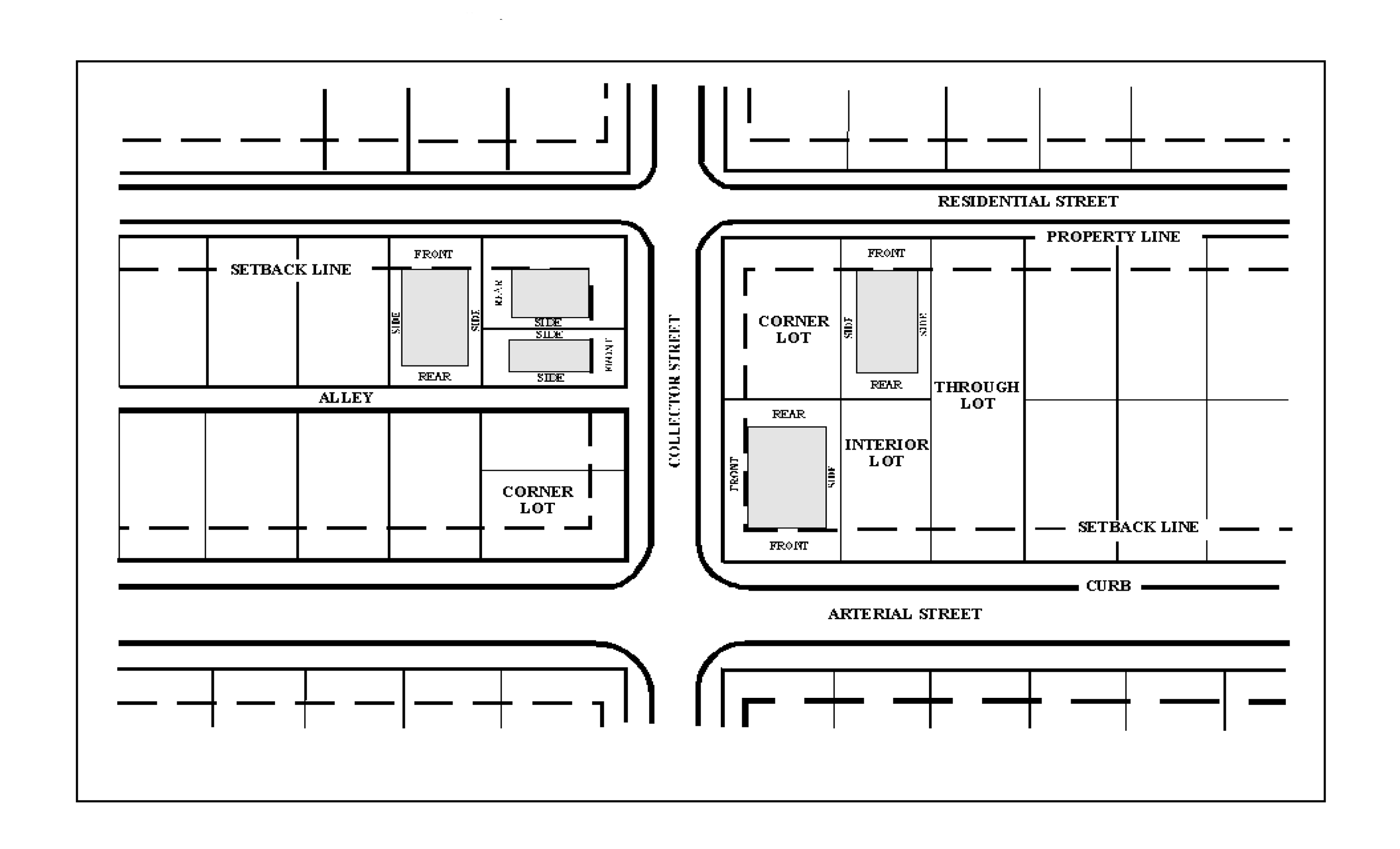
Lot, corner means a lot abutting upon two (2) or more streets at their intersection. For existing lots of record a corner lot shall be deemed to front on that street on which it has its least dimension, unless otherwise specified by the Community Development Director. For all newly-created lots of record, a building line shall be observed along each frontage and both frontages shall meet the minimum front yard requirement. The street frontage where the main entry into the principal building is located shall be designated as the front yard and the yard opposite the designated front shall be considered the rear yard. The yard opposite the other frontage shall be considered a side yard and shall meet the minimum side yard requirement.
Lot, interior means a lot other than a corner lot.
Lot coverage means the percentage of the horizontal area of a lot within the outside of the exterior walls of the ground floor of all principal and accessory buildings on the lot. Open porches, decks, patios, canopies, fire escapes, driveways, parking lots, sheds and swimming pools shall not be included.
Lot depth means the mean horizontal distance from the front street line to the rear line.
Lot, double frontage or through means a lot having frontage on two (2) nonintersecting streets, as distinguished from a corner lot.
Lot, flag means a large lot not meeting minimum lot frontage requirements and where access to a public or private street is provided by means of a long, narrow driveway between abutting lots.
Lot line means the line bounding a lot as defined herein.
Lot line, front means the boundary between a lot and the street on which it fronts. (For clarification of the front lot line location, see the definition of "corner" above.)
Lot line, rear means any lot line that is not a front lot line or a side lot line.
Lot line, side means any lot line that intersects the front lot line. A side lot line shall include any linked line segments or arcs that have a bearing which is within forty-five (45) degrees of a line drawn perpendicular to the front lot line. Where the application of the rules is ambiguous or where the property owner requests an alternative designation, the Community Development Director may specifically designate the various lot lines for a particular lot.
_____
Figure 1 - Lot Types and Setbacks
_____
Lot of record means a lot which is a part of a subdivision, the plat of which has been recorded in the office of the Recorder of Deeds or a lot described by metes and bounds, the description of which has been recorded in the office of the Recorder of Deeds prior to the adoption of this regulation.
Lot width means the horizontal distance between the side boundary lines of a property measured at the front building line.
Lot, zoning means a parcel or tract of land used, developed or built upon as a unit under single ownership or control. Said parcel of tract may consist of one (1) or more lots of record, one (1) or more portions of a lot or lots of record, or any combination thereof.
Manufactured home means a structure which bears a seal indicating compliance with the Federal Manufactured Home Construction and Safety Standards established pursuant to 42 U.S.C. s;; 5401, and constructed on or after June 15, 1976.
Manufactured home park means any area, piece, parcel, tract, or plot of ground equipped as required for support of manufactured homes and offered for use by the owner or representative for manufactured home park purposes and/or ground upon which three (3)or more manufactured homes are parked, whether for compensation or not, including all accessory uses thereof. The term "manufactured home park" does not include sales lots of which unoccupied manufactured homes are parked for the purpose of inspection and sale.
Manufactured home (factory built home) residential-design means a manufactured home which is designed with the same appearance of an on-site, conventionally-built, single-family dwelling and satisfies the criteria established in Section 17.050, Use Regulations.
_____
Figure 2 - Manufactured Home Residential Design
_____
Mobile means the state of being active, but not necessarily continuous movement.
Mobile food vehicle, trailer or cart means any business which sells edible goods from a nonstationary location within the city limits of Collinsville.
Mobile home means a transportable, factory-built structure designed to be used as a single dwelling unit that was manufactured prior to June 15, 1976 and that does not bear a seal as provided by the Federal Manufactured Housing Construction and Safety Standards Act of 1974 (42 U.S.C. Sec. 5401).
Modular home means a manufactured residential structure built to a nationally-recognized and accepted construction standard published by the Building Officials & Code Administrators International, Inc. (BOCA) or the International Conference of Building Officials (ICBO) and the unit is inspected and certified at the factory that it meets said standard. A modular home shall have exterior structure materials and appearance similar to the customary single-family structures, as required of a manufactured home—residential design, and shall be permanently situated on a concrete foundation.
_____
Figure 3 - Modular Home
_____
Modular home means a manufactured residential structure built to a nationally-recognized and accepted construction standard published by the Building Officials & Code Administrators International, Inc. (BOCA) or the International Conference of Building Officials (ICBO) and the unit is inspected and certified at the factory that it meets said standard. A modular home shall have exterior structure materials and appearance similar to the customary single-family structures, as required of a manufactured home—residential design, and shall be permanently situated on a concrete foundation.
Non-Clinical Community Home means a residential facility utilized for the housing of no more than eight (8) unrelated persons (inclusive of residential staffing) who experience disabilities, residing together in a family-type environment as a single, housekeeping unit. A Non-Clinical Community Home shall not be utilized for medical services or clinical care.
Non-Clinical Community Group Home means a residential facility which is occupied on a permanent basis by not less than nine (9) and no more than fifteen (15) unrelated persons (inclusive of residential staffing) who experience disabilities, residing together in a family-type environment as a single, housekeeping unit and which may be occupied by paid professional support staff provided by a sponsoring agency that provides custodial care but does not provide medical care.
Nonconformance means a condition that occurs when, on the effective date of adoption of this chapter or a previous ordinance or on the effective date of an ordinance text amendment or rezoning, an existing lot of record, structure, building, sign, development, or use of an existing lot or structure does not conform to one (1) or more of the regulations currently applicable to the district in which the lot, structure, building, sign, development, or use is located.
Nonconforming lot means a lot of record and lawfully existing on the effective date of the Zoning Regulations, or subsequent amendment thereto, which fails to meet the minimum lot size, width, and/or depth requirements of the zoning district in which it is located.
Nonconforming structure means a structure lawfully existing on the effective date of the Zoning Regulations, or subsequent amendment thereto, which has been lawfully maintained but is not in conformance with the requirements of the zoning district in which it is located.
Nonconforming use means a use that lawfully occupied a building or land on the effective date of the Zoning Regulations, or subsequent amendment thereto, which has been lawfully continued but does not conform to the use regulations of the zoning district in which it is located.
Nuisance means any thing, condition, or conduct that endangers health and safety, or unreasonably offends the senses, or obstructs the free use and comfortable enjoyment of property, or essentially interferes with the comfortable enjoyment and use of property.
Open space means any publicly dedicated or privately owned area or land or water that is permanently preserved and maintained. Such an area may be predominately in a natural condition or improved or modified for uses such as recreation, education, aesthetics, cultural or natural resource management or public health and safety. The term shall not include off-street parking or driveway areas, nor shall such area have a slope greater than ten (10) percent of any dimension of less than ten (10) feet.
Outdoor display area means a legally designated and authorized portion of a property outside of any building where merchandise, goods or other items are placed in public view for the purpose of direct sale or lease to customers.
Outdoor storage means the keeping in an unroofed and/or unenclosed building or in any open area of any goods, junk, trash, refuse, rubbish, material, merchandise or vehicles in the same place for a period of time exceeding twenty-four (24) hours.
Outlot, residential (common land) means the land set aside for open space including stormwater, retention lakes, ponding or recreational use for the owners of residential lots in a subdivision as further delineated in Title 16, Subdivisions, of the Municipal Code of Ordinances.
Parcel means a lot or contiguous group of lots in single ownership or under single control, usually considered a unit for purposes of development.
Parking lot means an open, permanently surfaced, dust-free area (concrete, asphaltic concrete, or other comparable surface), other than street or public way, to be used for the storage, for limited periods of time, of operable passenger automobiles and commercial vehicles, and available to the public, whether for compensation, free, or as an accommodation to clients or customers.
Parking lot, commercial means a tract of land which is used for the storage of motor vehicles, which is not accessory to any other use on the same or any other lot, and which contains parking space rented to the general public or reserved for individuals by the hour, day, week, or month.
Parking area, off-street means a permanently surfaced, dust-free area (concrete, asphaltic concrete, or other comparable surface), enclosed or unenclosed for the short-term storage of automobiles.
Parking space means an off-street space permanently surfaced and dust-free, available for the parking of one (1) motor vehicle conforming to the typical parking lot standards.
Planning Commission means the commission appointed by the governing body to administer the planning and zoning regulations as stipulated by the governing body and the statutes of the state.
Planned zoning district means the zoning designation of a lot or tract to permit that development that is specifically depicted on plans approved in the process of zoning that lot or tract. The planned district procedure herein is an option that allows relief from a conventional (underlying) zoning district.
Plot plan means an engineered drawing that may be submitted in lieu of site plan for the construction or improvement of a single-family detached structure. At a minimum, a plot plan shall depict all proposed improvements to the site, limits of the parcel, building setbacks and all existing uses located on the site.
Pole barn means a typically metal clad structure most often utilizing wooden poles and trusses for support with unfinished flooring, uninsulated interiors and usually not containing concrete footings. Such structures are normally used for agricultural purposes, for construction trade storage, or for general storage and not intended for human inhabitation.
Precious metal and gem buying establishment means an establishment that purchases secondhand precious metals or gems from the public at large for cash value with no certain or implied contractual period within which the seller may purchase the precious metal or gem back for the amount of the sale plus a fee. This use excludes establishments that are principally jewelry stores, pawn shops, antique/collectible shops, and secondhand stores.
Recreational vehicle means any of the following vehicles which are licensed for travel on the highway means travel trailer (a vehicular, portable structure built on a chassis, designed to be used as a temporary dwelling for travel, recreation or vacation, or one (1) permanently identified as a travel trailer by the manufacturer of the trailer); pickup coach (a structure designed to be mounted on a truck chassis for use as a temporary dwelling for travel, recreation and vacation); motorhome (as a portable, temporary dwelling to be used for travel, recreation and vacation, constructed as an integral part of a self-propelled vehicle); and camping trailer (as a canvas, material or metal folding structure, mounted on wheels, and designed for travel, recreation and vacation use).
Seasonal sales means a seasonal outdoor business enterprise that is conducted primarily outdoors and offers for retail sale items that are, by their nature, are in particular demand during a relatively short peak season, including, but not limited to, Christmas trees, pumpkins, produce, flowers, and seasonal consumable (food) items. This definition does not include nonperishable items of a retail nature, including, but not limited to, purses, sunglasses, electronics, publications, artwork, etc.
Secondhand store means a retail business that primarily sells used goods such as clothing, household items, books, furniture, appliances and other merchandise not generally considered to be valuable antiques or collectibles. This definition shall also include businesses known or characterized as thrift shops, but not those involved in used auto parts, tires, or other items classified as "junk".
Setback means the distance that is required by these regulations to be maintained in an unobstructed state between a structure and the property line of the lot on which the structure is located. (Note means The term "setback" refers to a required minimum area, while the term "yard" refers to the actual open area.)
Sight distance triangle means the triangular area formed by a diagonal line connecting two (2) points located on intersecting street curb or edge and street or driveway curb or edge. Nothing shall be erected, placed, or allowed to grow in this area in such a manner as to impede vision between the height of two (2) feet and eight (8) feet above the grade of the adjacent street or driveway pavement. The distances for the sight distance triangle are generally thirteen (13) feet (A), one hundred and fifty-five (155) feet (B), and fifty (50) feet (C); except that the City Engineer may establish greater sight triangles based upon standards in the policy manual published by the American Association of State Highway and Transportation Officials (AASHTO).
_____
Figure 4 - Sight Triangle Minimum Standards
_____
Sign means any device (including but not limited to letters, words, numerals, figures, emblems, pictures, or any part or combination) used for visual communication intended to attract the attention of the public and visible to the public right-of-way or other properties. The term "sign" shall not include any flag, badge, or insignia or any governmental unit, nor shall it include any item of merchandise normally displayed within a show window of a business.
Site plan means an architectural plan, landscape architecture document, and detailed engineering drawings delineating existing and proposed improvements and uses for a parcel or group of parcels of land that includes all applicable existing and proposed features as required herein. Any required preliminary plat, public improvement plan, final plat, or civil construction plan shall substantially conform to the approved site plan.
Special use permit means a written permit issued to the recipient and which is non-transferable to future owners or operators by the Community Development Director according to the Planning Commission's recommendation and final authorization by the Zoning Hearing Officer. This special use permit provides permission under special conditions to make certain conditional uses of land in certain zoning districts as stipulated in each of the district zoning regulations.
Story means that part of a building included between the surface of one (1) floor and the surface of the floor next above, or if there be no floor above, that part of the building which is between the surface of a floor and the ceiling next above. A top story attic is a half story when the main line of the eave is not above the middle of the interior height of such story. The first story is a half-story when between fifty (50) and seventy-five (75) percent of the area of its exterior walls are exposed to outside light and air entirely above grade and which exterior walls contain windows or doors permitting the entrance of daylight and outside air.
Street means a general term denoting a public or private way which affords the principal means of vehicular access of abutting property. The term includes all facilities which normally occur within the right-of-way; it shall also include such other designations as highway, thoroughfare, parkway, throughway, road, avenue, boulevard, lane, place, court but shall not include an alley or pedestrian way.
Street line means the dividing line between the street and the abutting property, also commonly known as the front property line.
Street, expressway means a street which provides fast and efficient movement of large volumes of traffic between areas and does not provide a land service function.
Street, arterial means a street which provides for through traffic movement between and around areas with direct access to abutting property, subject to necessary control of entrances, exits and curb uses.
Street, collector means a street which provides for traffic movement between arterials and local streets, with direct access to abutting property.
Street, local means a street which provides direct access to abutting land and local traffic movement whether in business, industrial, or residential areas.
Structure means anything constructed or erected, which requires location on or in the ground, or attached to something having a location on the ground; including, but not limited to signs, and excepting customary utility poles, retaining walls and boundary fences.
Structural alterations means any change in the supporting members of a building, such as bearing walls, columns, beams or girders.
Subdivision means the division or redivision of land into lots, tracts, parcels, sites or divisions for the purpose of sale, lease or transfer of ownership as regulated under the authority of Title 16, "Subdivisions", of the City of Collinsville Municipal Code
Temporary storage unit (portable on-demand storage) means a transportable box-like container intended for the purpose of storing household goods and other personal property that is intended to be filled, refilled, or emptied while located outdoors on a residential property for a limited period of time. Railroad cars, cargo containers and other similar transitory units shall not be considered temporary storage units.
Temporary use means those land uses and structures that are associated with and accessory to the primary use of the property and are in place for only short periods of time and require no permanent structures.
Temporary uses means a use which is associated with a holiday or special event, or which is accessory to a permitted use and transitory in nature and which is intended for a limited duration and does not involve the construction or alteration of any permanent structure.
Tobacco accessories means any cigarette papers, pipes, holders of smoking materials of all types, cigarette rolling machines, and other items designed primarily for the smoking or ingestion of tobacco products or of substances made legal under any state statute.
Tobacco products means any substance containing tobacco leaf, including, but not limited to, cigarettes, cigars, pipe tobacco, snuff, chewing tobacco, dipping tobacco, or items associated with smoking.
Tobacco store means establishments primarily engaged in retailing cigarettes, electronic cigarettes, vapes, cigars, tobacco, pipes, nicotine products and other smokers' supplies including tobacco accessories, tobacco products, and/or vapor products.
Trailer means a portable structure supported by wheels, jacks, horses, skids or blocks without permanent foundation that is towed or hauled by another vehicle used for temporary human occupancy, to carry materials, goods or objects; or use as a temporary office.
Transient merchant means exhibiting any of the following characteristics:
A.
Any and all persons, both principals and agents, as well as employers and employees, who shall sell, offer for or expose for sale, or who shall trade, deal or traffic in, any personal property or services in the City by going from house to house or from place to place or by indiscriminately approaching individuals, whether on foot or by vehicle.
B.
Sales by sample or for future delivery and executory contracts of sale by solicitors or peddlers are embraced within the preceding subsection; provided, however, that this chapter is not applicable to any salesperson or canvasser who solicits trade from wholesale or retail dealers within the City.
C.
Any person, both principals and agents, as well as employers and employees, who, while selling or offering for sale any goods, wares, merchandise or anything of value, stands in a doorway or any unenclosed vacant lot, parcel of land or in any other place not used by such person as a permanent place of business.
Vapor product means an electronic product or device that produces a vapor that delivers nicotine or other substances to the person inhaling from the device to simulate smoking, and is likely to be offered to, or purchased by, consumers as an electronic cigarette, electronic cigar, electronic cigarillo, or electronic pipe.
Variance means a departure from any provision of the zoning requirements for a specific lot, except use, without changing the zoning ordinance or the underlying zoning of the lot. A variance usually is granted only upon demonstration of hardship based on the peculiarity of the property in relation to other properties in the same zone district.
Wild animals means any living member of the animal kingdom, including those born or raised in captivity, except the following means domestic dogs (excluding hybrids with wolves, coyotes or jackals), domestic cats (excluding hybrids with ocelots or margays), farm animals, rodents, captive-bred species of common cage birds, reptiles and fish.
Yard means an open space at grade between a building and the adjoining lot lines, unoccupied and unobstructed by any portion of a structure from the ground upward, except as otherwise provided. In measuring a yard for the purpose of determining the width of a side yard the depth of a front yard or the depth of a rear yard, the least horizontal distance between the lot line and the building shall be used.
Yard, front means a yard across the full width of the lot extending from the front line of the main building to the front line of the lot.
Yard, side means a yard between the main building and the adjacent sideline of the lot, and extending entirely from a front yard to the rear yard.
Yard, rear means a yard between the rear lot line and the rear line of the main building and the side lot lines.
Zone or district means a section of the zoning area for which uniform regulations governing the use, height, area, size, and intensity of use of structures, land, and open space are herein established.
Zoning Administrator means the Community Development Director or his designee.
Zoning area means the area to be zoned as set out on the official zoning map filed of record.
Zoning regulations means the term "zoning regulations" or "these regulations" shall mean the requirements stipulated in the regulations herewith attached and shall mean the lawfully adopted Zoning Regulations of the City of Collinsville.
(Zoning Ord. 2009, § 17.020.020; Ord. No. 4205, 3-23-2005; Ord. No. 4601, § 1, 4-22-2013; Ord. No. 4714, § 1, 6-9-2014; Ord. No. 4749, § 1, 9-24-2014; Ord. No. 4750, § 2, 9-24-2014; Ord. No. 15-76, § 1, 11-23-2015; Ord. No. 16-90, § 1, 11-28-2016; Ord. No. 17-6, § 1, 1-23-17; Ord. No. 17-27, § 1, 3-27-2017; Ord. No. 17-51, § 1, 7-24-2017; Ord. No. 18-19, § 6, 2-26-2018; Ord. No. 19-85, § 11, 11-25-2019; Ord. No. 24-141, § 1, 9-24-2024; Ord. No. 24-196, § 1, 12-10-2024; Ord. No. 25-27, § 1, 2-25-2025)
020 - INTERPRETATION AND DEFINITIONS
A.
Definitions and usage. For the purposes of this title, all words and terms used in this title are limited to the meanings given to them by this section or as specifically provided in another Section of this title. Words and terms that are defined in another Section of this title relate specifically to that Section. Words or terms that are not defined shall be given their common dictionary definition. Unless the context clearly indicates to the contrary, the following interpretations apply:
1.
Words used in the present tense shall include the future tense;
2.
Words used in the singular shall include the plural and words used in the plural shall include the singular; and
3.
The word "shall" is mandatory;
4.
The word "may" is permissive;
5.
Reserved;
6.
The word "Governing Body" means the City Council;
7.
The word "Commission" means the Planning Commission;
8.
Unless otherwise specified, all distances shall be measured horizontally;
9.
The word "City" means City of Collinsville, Illinois.
B.
Definitions in other chapters. If a word or term is not defined in this section but is defined elsewhere in this title or in the Collinsville Municipal Code, that definition shall be applicable unless the context indicates that a standard dictionary definition is more appropriate.
C.
Joint ownership. Where this title permits or requires an act on the part of an "owner" or "landowner," and a particular lot or tract of land is owned by several persons, whether in joint tenancy, tenancy in common, partnership, joint venture or other form of joint ownership, the act shall be taken on behalf of, and with the express written consent of, all such persons, which written consent shall be provided to the City.
D.
Interpretation.
1.
Minimum requirements. In their interpretation and application, the provision of these regulations shall be held to be the minimum requirements for the promotion of the public health, safety, quality of life and welfare.
2.
Overlapping or contradictory regulations. Where the conditions imposed by any provision of these regulations upon the use of land or structures are either more restrictive or less restrictive than comparable conditions imposed by other provision of any other law, ordinance, resolution, rule or regulations of any kind, the regulations which are more restrictive shall govern.
3.
Private agreement. These regulations are not intended to abrogate, annul or otherwise interfere with any easement, covenant or any other private agreement of legal relationship; provided, however, that where the provisions of these regulations are more restrictive (or impose higher standards or requirements) than such easements, covenants or other private agreements or legal relationships, the provisions of these regulations shall govern.
4.
Unlawful uses. Any structure or use which was not lawfully existing at the time of the adoption of these regulations shall become or be made lawful solely by reason of the adoption of these regulations; and to the extent that, and in any respect that, said unlawful structure or use is in conflict with the requirements of these regulations, said structure or use remains unlawful hereunder.
(Zoning Ord. 2009, § 17.020.010; Ord. No. 19-85, § 10, 11-25-2019)
The following words, terms and phrases, when used in this title, shall have the meanings ascribed to them in this section, except where the context clearly indicates a different meaning:
Abutting means to physically touch or border upon; to share a common property line but not overlap. For the purposes of this ordinance, a zoning lot line shall be considered to abut a zoning district line even though it may be separated therefrom by a street, parkway, sidewalk, public way, alley, waterway, railroad right-of-way or portion thereof. "Adjacent," "adjoining" and "contiguous" shall have the same meaning as "abutting."
Accessory use means a use incidental to, and on the same lot as, a principal use.
Adult means a person eighteen (18) years of age or older.
Adult bookstore See the City's Adult Use Ordinance Number 3326.
Adult entertainment business See Adult Use Ordinance Number 3326.
Alley means A minor way that is used primarily for vehicular service access to the back or side of properties otherwise abutting on a street.
Alteration means as applied to a building or structure means a change or re-arrangement in the structural parts; or an enlargement, whether by extending on a side or by increasing in height; or the moving from one (1) location or position to another.
Antique means a product that is sold or exchanged because of value derived or because of oldness as respects the present age, and not simply because the same is not a new product.
Antique/collectible shop means any premises used for the sale, purchase, or trading of articles of which eight (80) percent or more are over fifty (50) years old or have collectible value. Also includes the sale, purchase, or trading of rare coins, stamps, and previously owned games, books, videos and other media. This use excludes precious metal and gem buying establishments, pawn shops, secondhand stores, and adult entertainment businesses.
Apartment See dwelling, multi-family.
Applicant means the owner or duly designated representative of land proposed to be subdivided, or for which a special use permit, amendment, variance, construction permit, or certificate of occupancy has been requested. Consent shall be required from the legal owner of the premises.
Area, buildable means the area of a lot remaining after the minimum yard and open space requirements of the Zoning Code have been met.
Artisan/maker means a person or company that makes a high-quality or distinctive product in small quantities, usually by hand or using traditional methods including, but not limited to craftwork, furniture; decorative arts; sculptures; clothing; jewelry; household items, mechanisms, and tools; and food and beverages manufacturers, including producers of distilled spirits, beer, and wine.
Artisan/maker boutique (retail trade and no-impact manufacturing means a retail trade establishment, purveying goods produced primarily on premises by artisan/makers (as defined herein), that may include facilities for the design, processing, fabrication, assembly, treatment, and packaging of such goods; as well as the storage, sales and distribution thereof. Artisan/maker boutiques may include classroom space, meeting rooms, and offer facility tours. This use does not include restaurants with accessory on-site distillation of spirits, brewing of beer, or fermentation of wine.
Basement means a floored and walled substructure of a building at least fifty (50) percent below the average finished grade of the building.
Block means a piece or parcel of land entirely surrounded by public highways or streets, other than alleys. In cases where the platting is incomplete or disconnected, the Community Development Director shall determine the outline of the block.
Block face means one (1) side of a block that includes the portion of a block that abuts a street up to the nearest intersecting street.
Building means any structure which is built for the support, enclosure, shelter, or protection of persons, animals, chattels, or movable property of any kind, and which is permanently affixed to the land; including structures designed and constructed in sections expressly for assembly and placement on a permanent perimeter foundation, with any transport equipment being readily detachable and designed for delivery purposes only, if said structure is placed on such foundation with all transport equipment permanently removed. A trailer as herein defined shall not be classified as a building.
Building coverage means the ratio of the horizontal area measured from the exterior surface of the exterior walls of the ground floor of all principal and accessory buildings on a lot to the total lot area.
Building line means A line parallel to a street right-of-way line, edge of a stream, or other property line established on a parcel of land or lot for the purpose of prohibiting construction of a building or structure in the area between such building line and right-of-way, streambank, or other property line.
Building, accessory means A subordinate building detached from but located on the same lot occupied by the main building, the use of which is customarily incidental and subordinate to the main building or use.
Building, main or principal means A structure in which the principal use of the lot is conducted.
Building official means the appointed Building Official (Building Inspector) of the City of Collinsville.
Building, temporary means A building without any foundation or footings that is intended to be placed or affixed temporarily and which will be removed when the designated time period, activity, or use for which it was erected has ceased.
Buffer means open spaces, landscaped areas, fences, walls, berms, or any combination thereof used to physically separate or screen one (1) use or property from another so as to visually shield or block noise, lights or other nuisances.
Chicken means the female of the species Gallus Domesticas. For purposes of this Code, the term chicken shall be limited to the female gender (hens) and shall not include the male gender (roosters) regardless of the species.
City Council means the elected governing body of the City of Collinsville.
Civil construction plan means an engineered drawing and support documentation containing all information required for the site plan, locations, standard details, and specifications for the construction of all private infrastructure, and for the construction of required utilities or other public improvements where there has been no subdivision of land and/or improvement plans as required per Chapter 16.12, The Subdivision Process, of the Land Subdivision Control Regulations of Collinsville, Madison and St. Clair Counties, Illinois; and shall be subject to all the requirements contained therein.
Cluster development means the arrangement of buildings or structures in groups around common courts, driveways, parks or other unique features of the land permitting more latitude and flexibility in placement and design. The lots, buildings or structures in a cluster development must meet the requirements of the appropriate planned districts.
Coin and/or philatelic shop. See "antique/collectible shop".
Collectible means a product which due to its demand has attained value in a recognized commercial market which is in excess of its original value.
Commercial vehicle means Any motor vehicle having at least one (1) of the following attributes:
A.
Having a gross weight, whether loaded or unloaded, in excess of twenty thousand (20,000) pounds or exceeding twenty-two (22) feet in length and designed to carry, haul or tow passengers, freight, or merchandise;
B.
Any tractor, backhoe, blade, bucket, bulldozer, compactor, crane scraper, excavator, front-end loader, or other construction equipment or attachment;
C.
Any tow truck, dump truck, stake-bed truck, flat-bed truck, step van, refuse or garbage truck, bus, or special purpose vehicle in excess of ten (10) feet in total length; or
D.
Any agricultural tractor, farm implement or attachment, moving equipment or attachment, bush hog, trimmer, spreader and other lawn, landscape and turf maintenance equipment or attachments or other similar equipment. For purposes of this definition, a commercial motor vehicle and/or commercial vehicle does not include recreational vehicles for personal use, nor pickup trucks or panel vans utilized for personal use or for commercial uses when driven by the resident of the dwelling unit where the vehicle is parked on a daily or similar regular basis nor lawn, landscape and turf maintenance equipment or attachments or other similar equipment used to maintain property on which the equipment is kept.
Common open space means an area of land or water or combination thereof planned for passive or active recreation, but does not include areas utilized for streets, alleys, driveways or private roads, off-street parking or loading areas. However, the area of recreational activities such as swimming pools, tennis courts, shuffleboard courts, etc., may be included as common open space.
Communication tower means commercial AM/FM radio, television, microwave and cellular telephone transmission towers and accessory equipment and buildings.
Community development director means the appointed Community Development Director of the City of Collinsville.
Comprehensive plan means A comprehensive plan made and adopted by the Planning Commission and the City Council which, through a combination of text, charts and maps, sets forth proposals for general locations of various land uses, including streets, parks, schools, public buildings, and utilities.
Contractor means any person or firm that undertakes with or for another to construct, alter, repair, or demolish any structure or any portion thereof including every i) plumbing contractor, ii) electrical contractor, iii) mechanical heating, ventilation, and air conditioning ("HVAC") contractor, and iv) general contractor, building contractor, residential contractor, and landscape contractor, as well as heavy construction contractors engaged in activities such as paving, highway construction, and utility construction.
Curb level means the mean level of the curb in front of the lot or in case of a corner lot, along that abutting street where the mean curb level is the highest.
Dedication means intentional transfer by the developer to the public of ownership of, or an interest in, land for public purpose. Dedication may be affected by compliance with statutes relating to dedication of land, by formal deed by conveyance, or by any other method recognized by the laws of the State of Illinois.
Density, gross means the total number of dwelling units divided by the total project area, expressed as gross dwelling units per acre.
Density, net means the total number of dwelling units divided by the net project area. In determining net density, all land area associated with and accessory to the dwelling unit, including private streets and driveways, off-street parking facilities and common open space and recreational facilities, shall be included in the calculation. Net density calculations exclude rights-of-way of publicly dedicated streets and nonresidential structures, land uses and accessory facilities.
Department of Health and Environment means Madison County Health Department and/or St. Clair County Department of Public Health.
District means A section or sections of the zoning area for which uniform regulations governing the use of land, open space, the height of buildings, the size of yards and the intensity of use are herein established.
Domestic animals means animals kept exclusively for the personal enjoyment of the occupants of a principal building and including those animals normally kept as pets such as dogs, cats, birds, guinea pigs, etc.
Dwelling means a room or suite of rooms arranged, intended or designed as a place of residence; or any building or portion thereof which is designed, built, leased, rented, let, or hired to be occupied, or which is occupied as a home or residence; or a building or portion thereof, designed exclusively for residential occupancy, including one-family, two-family, and multiple-family dwellings, boarding and lodging houses. Hotels, motels, rooming houses, nursing homes, travel trailers, recreational vehicles, manufactured or mobile homes shall not be considered dwellings.
Dwelling, loft means a dwelling located above the first floor of a non-residential building.
Dwelling, multi-family means a dwelling or group of dwellings on one (1) lot containing separate living units for three (3) or more families, but which may have joint services or facilities.
Dwelling, single-family means a single structure occupied exclusively by not more than one (1) family.
Dwelling, single-family detached means a single-family dwelling that is not attached to any other dwelling by any means and is surrounded by open space or yards.
Dwelling, single-family attached villa means single-family dwelling units sharing a common wall but situated on separate and individually owned lots, each with a private exterior entrance and no other dwelling unit located above or below, designed to be occupied by separate families or individuals living together as a family.
Dwelling, two-family attached duplex means a building designed for two (2) families living independently of each other, and being located on a single lot.
Dwelling unit means one (1) room or rooms connected together constituting a separate, independent housekeeping establishment for owner occupancy, or rental or lease on a weekly, monthly or longer basis, and physically separated from any other rooms which may be in the same structure, and containing independent cooking and sleeping facilities.
Easement means a grant by a property owner to the public, a corporation, or a person(s) of the use of a described area of land for specified purposes, where fee simple title to the land remains with the property owner.
Edible good shall include, but not be limited to, the following:
A.
Prepackaged food, including, but not limited to, candy, beverages and ice cream;
B.
Prepared food, including, but not limited to, hot dogs, desserts and pizza;
C.
On-site prepared food, including, but not limited to, sandwiches, tacos and meats.
Electronic cigarette store means a specialty retail establishment that has no substantial or significant portion of its stock in anything other than electronic cigarette devices, mixtures utilized in such devices, and related accessories, such as chargers, kits, tanks, coils, replacement parts, etc., exclusive of items identified as drug paraphernalia in Chapter 9.18 of the Municipal Code of Ordinances.
Exterior setback means a required setback that fronts on a public street.
Family means one (1) or more persons who are related by blood or marriage, living together and occupying a single housekeeping unit with single kitchen facilities, or a group of not more than four (4) unrelated individuals living together by joint agreement and occupying a single housekeeping unit with single kitchen facilities, on a non-profit cost-sharing basis. A family shall under no circumstances be construed as a boarding house, fraternity or sorority house, club, lodging house, hotel or motel.
Farm animals means animals other than household pets that may, where permitted, be kept and maintained for commercial production and sale or family food production, education or recreation. Farm animals are identified by these categories means large animals, e.g., horses and cattle; medium animals, e.g., sheep, goats; or small animals, e.g., rabbits, chinchilla, chickens, turkeys, pheasants, geese, ducks and pigeons.
Fence means an enclosure or barrier such as wooden posts, wire, iron, etc., used as a boundary, means of protection, privacy screening or confinement, but not including hedges, shrubs, trees or other natural growth.
Fence height means the vertical distance measured from the side of the fence that is exterior to the property or from the lowest adjacent ground level to the top of the fence material. In the case of wire fencing, height shall be measured by the width of the material used, providing that when installed, the material is directly adjacent to the ground level.
Floor area, gross means the sum of the gross horizontal area of all floors of a building including basement areas, as measured from the interior perimeter of exterior walls. Such area shall not include the following means interior loading and parking areas, atriums except the first floor area, rooftop mechanical equipment enclosures, and the open mall walkway areas of shopping centers.
Floor area, net means the horizontal area of a floor or several floors of a building or structure; excluding those areas not directly devoted to the principal or accessory use of the building or structure, such as storage areas or stairwells, measured from the exterior faces of exterior or interior walls.
Floor area ratio (FAR) means the numerical value obtained by dividing the gross floor area of a building by the area of the lot on which the building is constructed.
Food hall means a cafeteria facility consisting primarily of three (3) or more lease areas within an enclosed building that have a shared entrance/lobby area where the primary uses are food related, but may include small retail venues, shared eating areas, and limited live entertainment. Lease areas may have access to the exterior of the building along with outside eating areas, both private and shared with other uses.
Frontage means the length of the property abutting on one (1) side of a street measured along the dividing line between the property and the street.
Garage means a deck, building, or parking structure, or part thereof, used or intended to be used for the parking and storage of vehicles.
Garage, public means a structure, or portion thereof, other than a private customer and employee garage or private residential garage, used primarily for the parking and storage of vehicles and available to the general public.
Garage, private residential means a structure that is accessory to the primary residential building or structure, located on the same lot, and that is used for the parking and storage of vehicles owned and operated by the residents thereof and that is not a separate commercial enterprise available to the general public.
Garage, private customer and employee means a structure that is accessory to a non-residential establishment, building, or use and is primarily for the parking and storage of vehicles operated by the customers, visitors, and employees of such building and that is not available to the general public.
Grade means For buildings having walls facing one (1) street only, the elevation of the sidewalk at the center of the wall facing the street shall be the grade. For buildings having walls facing more than one (1) street, the grade shall be the average of the grades (as defined in (A) above) of all walls facing each street. For buildings having no wall facing a street, the average level of the finished surface of the ground adjacent to the exterior walls of the building shall be the grade.
Group Occupancy means a residential occupancy of a structure by a group of people that does not meet the definition of Family. Tenancy is usually arranged on a monthly or longer basis. Generally, Group Occupancy structures have a common eating area and living spaces for residents, and the residents may receive care or training.
Hard-surfaced road means an all weather surface improved with asphalt, concrete, asphaltic concrete or similar material designed to City of Collinsville street standards contained in the Subdivision Ordinance.
Hazardous operation means activities that present the potential for serious hazards to human life and health. Typical uses include arsenals, atomic reactors, explosives and fireworks manufacture, hazardous waste disposal, medical waste disposal and radioactive waste handling.
Hazardous substances means any substances or materials that, by reason of their toxic, caustic, corrosive, abrasive or otherwise injurious properties, may be detrimental or harmful to the health of any person handling or otherwise coming into contact with such material or substance.
Height, building or structure means the vertical distance from finished grade to the highest point of the roof of a building or highest point of any permanent part of a structure other than a building. Height measurements shall be taken from the average elevation of the finished grade at the front of a building or structure, except that where no front is specified or evident, such measurement shall be taken from the average elevations of the surrounding finished grade.
Home occupation means an occupation carried on in a dwelling unit by the resident thereof; provided that the use is limited in extent and incidental and secondary to the use of the dwelling unit for residential purposes and does not change the character thereof.
Infill development means construction on an existing vacant lot on an existing street in an existing neighborhood or developed area. Infill development shall also include lots where more than fifty (50) percent of the primary structure is altered.
Institutional use means a nonprofit, religious, or public use, such as a church, library, public or private school, hospital, or government owned or operated building, structure, or land used for public purpose.
Interior setback means a required setback that does not front on a public street.
Jewelry store means a business primarily engaged in the on-premises retail sale of new jewelry and watches, and may include the retail sale of clocks. Accessory to the primary use of the sale of new material may be the sale of used jewelry from estate sales or reconstituted precious metals and gems/stones purchased and handcrafted by the business into jewelry forms. Such establishments may also provide repair and lapidary services.
Junk means any worn out or discarded materials including, but not necessarily limited to, scrap metal, inoperable motor vehicles and parts, construction material, household wastes, including garbage and discarded appliances, and yard debris.
Kennel means the use of land or buildings for the purpose of selling, breeding, boarding, sitting, or training dogs or cats or both, or the keeping of four (4) or more dogs over four (4) months of age, or the keeping of six (6) or more cats over four (4) months of age, or the keeping of more than six (6) dogs and cats combined, neither component being permitted to exceed the four (4) dogs or six (6) cats. The word "selling" as herein used shall not be construed to include the sale of animals four (4) months of age or younger which are the natural increase of animals kept by persons not operating a kennel as herein defined.
Lot means a designated parcel, tract or other area of land established by a plat as permitted by law and intended to be used, developed, or built upon as a unit under single ownership.
Lot, corner means a lot abutting upon two (2) or more streets at their intersection. For existing lots of record a corner lot shall be deemed to front on that street on which it has its least dimension, unless otherwise specified by the Community Development Director. For all newly-created lots of record, a building line shall be observed along each frontage and both frontages shall meet the minimum front yard requirement. The street frontage where the main entry into the principal building is located shall be designated as the front yard and the yard opposite the designated front shall be considered the rear yard. The yard opposite the other frontage shall be considered a side yard and shall meet the minimum side yard requirement.
Lot, interior means a lot other than a corner lot.
Lot coverage means the percentage of the horizontal area of a lot within the outside of the exterior walls of the ground floor of all principal and accessory buildings on the lot. Open porches, decks, patios, canopies, fire escapes, driveways, parking lots, sheds and swimming pools shall not be included.
Lot depth means the mean horizontal distance from the front street line to the rear line.
Lot, double frontage or through means a lot having frontage on two (2) nonintersecting streets, as distinguished from a corner lot.
Lot, flag means a large lot not meeting minimum lot frontage requirements and where access to a public or private street is provided by means of a long, narrow driveway between abutting lots.
Lot line means the line bounding a lot as defined herein.
Lot line, front means the boundary between a lot and the street on which it fronts. (For clarification of the front lot line location, see the definition of "corner" above.)
Lot line, rear means any lot line that is not a front lot line or a side lot line.
Lot line, side means any lot line that intersects the front lot line. A side lot line shall include any linked line segments or arcs that have a bearing which is within forty-five (45) degrees of a line drawn perpendicular to the front lot line. Where the application of the rules is ambiguous or where the property owner requests an alternative designation, the Community Development Director may specifically designate the various lot lines for a particular lot.
_____
Figure 1 - Lot Types and Setbacks
_____
Lot of record means a lot which is a part of a subdivision, the plat of which has been recorded in the office of the Recorder of Deeds or a lot described by metes and bounds, the description of which has been recorded in the office of the Recorder of Deeds prior to the adoption of this regulation.
Lot width means the horizontal distance between the side boundary lines of a property measured at the front building line.
Lot, zoning means a parcel or tract of land used, developed or built upon as a unit under single ownership or control. Said parcel of tract may consist of one (1) or more lots of record, one (1) or more portions of a lot or lots of record, or any combination thereof.
Manufactured home means a structure which bears a seal indicating compliance with the Federal Manufactured Home Construction and Safety Standards established pursuant to 42 U.S.C. s;; 5401, and constructed on or after June 15, 1976.
Manufactured home park means any area, piece, parcel, tract, or plot of ground equipped as required for support of manufactured homes and offered for use by the owner or representative for manufactured home park purposes and/or ground upon which three (3)or more manufactured homes are parked, whether for compensation or not, including all accessory uses thereof. The term "manufactured home park" does not include sales lots of which unoccupied manufactured homes are parked for the purpose of inspection and sale.
Manufactured home (factory built home) residential-design means a manufactured home which is designed with the same appearance of an on-site, conventionally-built, single-family dwelling and satisfies the criteria established in Section 17.050, Use Regulations.
_____
Figure 2 - Manufactured Home Residential Design
_____
Mobile means the state of being active, but not necessarily continuous movement.
Mobile food vehicle, trailer or cart means any business which sells edible goods from a nonstationary location within the city limits of Collinsville.
Mobile home means a transportable, factory-built structure designed to be used as a single dwelling unit that was manufactured prior to June 15, 1976 and that does not bear a seal as provided by the Federal Manufactured Housing Construction and Safety Standards Act of 1974 (42 U.S.C. Sec. 5401).
Modular home means a manufactured residential structure built to a nationally-recognized and accepted construction standard published by the Building Officials & Code Administrators International, Inc. (BOCA) or the International Conference of Building Officials (ICBO) and the unit is inspected and certified at the factory that it meets said standard. A modular home shall have exterior structure materials and appearance similar to the customary single-family structures, as required of a manufactured home—residential design, and shall be permanently situated on a concrete foundation.
_____
Figure 3 - Modular Home
_____
Modular home means a manufactured residential structure built to a nationally-recognized and accepted construction standard published by the Building Officials & Code Administrators International, Inc. (BOCA) or the International Conference of Building Officials (ICBO) and the unit is inspected and certified at the factory that it meets said standard. A modular home shall have exterior structure materials and appearance similar to the customary single-family structures, as required of a manufactured home—residential design, and shall be permanently situated on a concrete foundation.
Non-Clinical Community Home means a residential facility utilized for the housing of no more than eight (8) unrelated persons (inclusive of residential staffing) who experience disabilities, residing together in a family-type environment as a single, housekeeping unit. A Non-Clinical Community Home shall not be utilized for medical services or clinical care.
Non-Clinical Community Group Home means a residential facility which is occupied on a permanent basis by not less than nine (9) and no more than fifteen (15) unrelated persons (inclusive of residential staffing) who experience disabilities, residing together in a family-type environment as a single, housekeeping unit and which may be occupied by paid professional support staff provided by a sponsoring agency that provides custodial care but does not provide medical care.
Nonconformance means a condition that occurs when, on the effective date of adoption of this chapter or a previous ordinance or on the effective date of an ordinance text amendment or rezoning, an existing lot of record, structure, building, sign, development, or use of an existing lot or structure does not conform to one (1) or more of the regulations currently applicable to the district in which the lot, structure, building, sign, development, or use is located.
Nonconforming lot means a lot of record and lawfully existing on the effective date of the Zoning Regulations, or subsequent amendment thereto, which fails to meet the minimum lot size, width, and/or depth requirements of the zoning district in which it is located.
Nonconforming structure means a structure lawfully existing on the effective date of the Zoning Regulations, or subsequent amendment thereto, which has been lawfully maintained but is not in conformance with the requirements of the zoning district in which it is located.
Nonconforming use means a use that lawfully occupied a building or land on the effective date of the Zoning Regulations, or subsequent amendment thereto, which has been lawfully continued but does not conform to the use regulations of the zoning district in which it is located.
Nuisance means any thing, condition, or conduct that endangers health and safety, or unreasonably offends the senses, or obstructs the free use and comfortable enjoyment of property, or essentially interferes with the comfortable enjoyment and use of property.
Open space means any publicly dedicated or privately owned area or land or water that is permanently preserved and maintained. Such an area may be predominately in a natural condition or improved or modified for uses such as recreation, education, aesthetics, cultural or natural resource management or public health and safety. The term shall not include off-street parking or driveway areas, nor shall such area have a slope greater than ten (10) percent of any dimension of less than ten (10) feet.
Outdoor display area means a legally designated and authorized portion of a property outside of any building where merchandise, goods or other items are placed in public view for the purpose of direct sale or lease to customers.
Outdoor storage means the keeping in an unroofed and/or unenclosed building or in any open area of any goods, junk, trash, refuse, rubbish, material, merchandise or vehicles in the same place for a period of time exceeding twenty-four (24) hours.
Outlot, residential (common land) means the land set aside for open space including stormwater, retention lakes, ponding or recreational use for the owners of residential lots in a subdivision as further delineated in Title 16, Subdivisions, of the Municipal Code of Ordinances.
Parcel means a lot or contiguous group of lots in single ownership or under single control, usually considered a unit for purposes of development.
Parking lot means an open, permanently surfaced, dust-free area (concrete, asphaltic concrete, or other comparable surface), other than street or public way, to be used for the storage, for limited periods of time, of operable passenger automobiles and commercial vehicles, and available to the public, whether for compensation, free, or as an accommodation to clients or customers.
Parking lot, commercial means a tract of land which is used for the storage of motor vehicles, which is not accessory to any other use on the same or any other lot, and which contains parking space rented to the general public or reserved for individuals by the hour, day, week, or month.
Parking area, off-street means a permanently surfaced, dust-free area (concrete, asphaltic concrete, or other comparable surface), enclosed or unenclosed for the short-term storage of automobiles.
Parking space means an off-street space permanently surfaced and dust-free, available for the parking of one (1) motor vehicle conforming to the typical parking lot standards.
Planning Commission means the commission appointed by the governing body to administer the planning and zoning regulations as stipulated by the governing body and the statutes of the state.
Planned zoning district means the zoning designation of a lot or tract to permit that development that is specifically depicted on plans approved in the process of zoning that lot or tract. The planned district procedure herein is an option that allows relief from a conventional (underlying) zoning district.
Plot plan means an engineered drawing that may be submitted in lieu of site plan for the construction or improvement of a single-family detached structure. At a minimum, a plot plan shall depict all proposed improvements to the site, limits of the parcel, building setbacks and all existing uses located on the site.
Pole barn means a typically metal clad structure most often utilizing wooden poles and trusses for support with unfinished flooring, uninsulated interiors and usually not containing concrete footings. Such structures are normally used for agricultural purposes, for construction trade storage, or for general storage and not intended for human inhabitation.
Precious metal and gem buying establishment means an establishment that purchases secondhand precious metals or gems from the public at large for cash value with no certain or implied contractual period within which the seller may purchase the precious metal or gem back for the amount of the sale plus a fee. This use excludes establishments that are principally jewelry stores, pawn shops, antique/collectible shops, and secondhand stores.
Recreational vehicle means any of the following vehicles which are licensed for travel on the highway means travel trailer (a vehicular, portable structure built on a chassis, designed to be used as a temporary dwelling for travel, recreation or vacation, or one (1) permanently identified as a travel trailer by the manufacturer of the trailer); pickup coach (a structure designed to be mounted on a truck chassis for use as a temporary dwelling for travel, recreation and vacation); motorhome (as a portable, temporary dwelling to be used for travel, recreation and vacation, constructed as an integral part of a self-propelled vehicle); and camping trailer (as a canvas, material or metal folding structure, mounted on wheels, and designed for travel, recreation and vacation use).
Seasonal sales means a seasonal outdoor business enterprise that is conducted primarily outdoors and offers for retail sale items that are, by their nature, are in particular demand during a relatively short peak season, including, but not limited to, Christmas trees, pumpkins, produce, flowers, and seasonal consumable (food) items. This definition does not include nonperishable items of a retail nature, including, but not limited to, purses, sunglasses, electronics, publications, artwork, etc.
Secondhand store means a retail business that primarily sells used goods such as clothing, household items, books, furniture, appliances and other merchandise not generally considered to be valuable antiques or collectibles. This definition shall also include businesses known or characterized as thrift shops, but not those involved in used auto parts, tires, or other items classified as "junk".
Setback means the distance that is required by these regulations to be maintained in an unobstructed state between a structure and the property line of the lot on which the structure is located. (Note means The term "setback" refers to a required minimum area, while the term "yard" refers to the actual open area.)
Sight distance triangle means the triangular area formed by a diagonal line connecting two (2) points located on intersecting street curb or edge and street or driveway curb or edge. Nothing shall be erected, placed, or allowed to grow in this area in such a manner as to impede vision between the height of two (2) feet and eight (8) feet above the grade of the adjacent street or driveway pavement. The distances for the sight distance triangle are generally thirteen (13) feet (A), one hundred and fifty-five (155) feet (B), and fifty (50) feet (C); except that the City Engineer may establish greater sight triangles based upon standards in the policy manual published by the American Association of State Highway and Transportation Officials (AASHTO).
_____
Figure 4 - Sight Triangle Minimum Standards
_____
Sign means any device (including but not limited to letters, words, numerals, figures, emblems, pictures, or any part or combination) used for visual communication intended to attract the attention of the public and visible to the public right-of-way or other properties. The term "sign" shall not include any flag, badge, or insignia or any governmental unit, nor shall it include any item of merchandise normally displayed within a show window of a business.
Site plan means an architectural plan, landscape architecture document, and detailed engineering drawings delineating existing and proposed improvements and uses for a parcel or group of parcels of land that includes all applicable existing and proposed features as required herein. Any required preliminary plat, public improvement plan, final plat, or civil construction plan shall substantially conform to the approved site plan.
Special use permit means a written permit issued to the recipient and which is non-transferable to future owners or operators by the Community Development Director according to the Planning Commission's recommendation and final authorization by the Zoning Hearing Officer. This special use permit provides permission under special conditions to make certain conditional uses of land in certain zoning districts as stipulated in each of the district zoning regulations.
Story means that part of a building included between the surface of one (1) floor and the surface of the floor next above, or if there be no floor above, that part of the building which is between the surface of a floor and the ceiling next above. A top story attic is a half story when the main line of the eave is not above the middle of the interior height of such story. The first story is a half-story when between fifty (50) and seventy-five (75) percent of the area of its exterior walls are exposed to outside light and air entirely above grade and which exterior walls contain windows or doors permitting the entrance of daylight and outside air.
Street means a general term denoting a public or private way which affords the principal means of vehicular access of abutting property. The term includes all facilities which normally occur within the right-of-way; it shall also include such other designations as highway, thoroughfare, parkway, throughway, road, avenue, boulevard, lane, place, court but shall not include an alley or pedestrian way.
Street line means the dividing line between the street and the abutting property, also commonly known as the front property line.
Street, expressway means a street which provides fast and efficient movement of large volumes of traffic between areas and does not provide a land service function.
Street, arterial means a street which provides for through traffic movement between and around areas with direct access to abutting property, subject to necessary control of entrances, exits and curb uses.
Street, collector means a street which provides for traffic movement between arterials and local streets, with direct access to abutting property.
Street, local means a street which provides direct access to abutting land and local traffic movement whether in business, industrial, or residential areas.
Structure means anything constructed or erected, which requires location on or in the ground, or attached to something having a location on the ground; including, but not limited to signs, and excepting customary utility poles, retaining walls and boundary fences.
Structural alterations means any change in the supporting members of a building, such as bearing walls, columns, beams or girders.
Subdivision means the division or redivision of land into lots, tracts, parcels, sites or divisions for the purpose of sale, lease or transfer of ownership as regulated under the authority of Title 16, "Subdivisions", of the City of Collinsville Municipal Code
Temporary storage unit (portable on-demand storage) means a transportable box-like container intended for the purpose of storing household goods and other personal property that is intended to be filled, refilled, or emptied while located outdoors on a residential property for a limited period of time. Railroad cars, cargo containers and other similar transitory units shall not be considered temporary storage units.
Temporary use means those land uses and structures that are associated with and accessory to the primary use of the property and are in place for only short periods of time and require no permanent structures.
Temporary uses means a use which is associated with a holiday or special event, or which is accessory to a permitted use and transitory in nature and which is intended for a limited duration and does not involve the construction or alteration of any permanent structure.
Tobacco accessories means any cigarette papers, pipes, holders of smoking materials of all types, cigarette rolling machines, and other items designed primarily for the smoking or ingestion of tobacco products or of substances made legal under any state statute.
Tobacco products means any substance containing tobacco leaf, including, but not limited to, cigarettes, cigars, pipe tobacco, snuff, chewing tobacco, dipping tobacco, or items associated with smoking.
Tobacco store means establishments primarily engaged in retailing cigarettes, electronic cigarettes, vapes, cigars, tobacco, pipes, nicotine products and other smokers' supplies including tobacco accessories, tobacco products, and/or vapor products.
Trailer means a portable structure supported by wheels, jacks, horses, skids or blocks without permanent foundation that is towed or hauled by another vehicle used for temporary human occupancy, to carry materials, goods or objects; or use as a temporary office.
Transient merchant means exhibiting any of the following characteristics:
A.
Any and all persons, both principals and agents, as well as employers and employees, who shall sell, offer for or expose for sale, or who shall trade, deal or traffic in, any personal property or services in the City by going from house to house or from place to place or by indiscriminately approaching individuals, whether on foot or by vehicle.
B.
Sales by sample or for future delivery and executory contracts of sale by solicitors or peddlers are embraced within the preceding subsection; provided, however, that this chapter is not applicable to any salesperson or canvasser who solicits trade from wholesale or retail dealers within the City.
C.
Any person, both principals and agents, as well as employers and employees, who, while selling or offering for sale any goods, wares, merchandise or anything of value, stands in a doorway or any unenclosed vacant lot, parcel of land or in any other place not used by such person as a permanent place of business.
Vapor product means an electronic product or device that produces a vapor that delivers nicotine or other substances to the person inhaling from the device to simulate smoking, and is likely to be offered to, or purchased by, consumers as an electronic cigarette, electronic cigar, electronic cigarillo, or electronic pipe.
Variance means a departure from any provision of the zoning requirements for a specific lot, except use, without changing the zoning ordinance or the underlying zoning of the lot. A variance usually is granted only upon demonstration of hardship based on the peculiarity of the property in relation to other properties in the same zone district.
Wild animals means any living member of the animal kingdom, including those born or raised in captivity, except the following means domestic dogs (excluding hybrids with wolves, coyotes or jackals), domestic cats (excluding hybrids with ocelots or margays), farm animals, rodents, captive-bred species of common cage birds, reptiles and fish.
Yard means an open space at grade between a building and the adjoining lot lines, unoccupied and unobstructed by any portion of a structure from the ground upward, except as otherwise provided. In measuring a yard for the purpose of determining the width of a side yard the depth of a front yard or the depth of a rear yard, the least horizontal distance between the lot line and the building shall be used.
Yard, front means a yard across the full width of the lot extending from the front line of the main building to the front line of the lot.
Yard, side means a yard between the main building and the adjacent sideline of the lot, and extending entirely from a front yard to the rear yard.
Yard, rear means a yard between the rear lot line and the rear line of the main building and the side lot lines.
Zone or district means a section of the zoning area for which uniform regulations governing the use, height, area, size, and intensity of use of structures, land, and open space are herein established.
Zoning Administrator means the Community Development Director or his designee.
Zoning area means the area to be zoned as set out on the official zoning map filed of record.
Zoning regulations means the term "zoning regulations" or "these regulations" shall mean the requirements stipulated in the regulations herewith attached and shall mean the lawfully adopted Zoning Regulations of the City of Collinsville.
(Zoning Ord. 2009, § 17.020.020; Ord. No. 4205, 3-23-2005; Ord. No. 4601, § 1, 4-22-2013; Ord. No. 4714, § 1, 6-9-2014; Ord. No. 4749, § 1, 9-24-2014; Ord. No. 4750, § 2, 9-24-2014; Ord. No. 15-76, § 1, 11-23-2015; Ord. No. 16-90, § 1, 11-28-2016; Ord. No. 17-6, § 1, 1-23-17; Ord. No. 17-27, § 1, 3-27-2017; Ord. No. 17-51, § 1, 7-24-2017; Ord. No. 18-19, § 6, 2-26-2018; Ord. No. 19-85, § 11, 11-25-2019; Ord. No. 24-141, § 1, 9-24-2024; Ord. No. 24-196, § 1, 12-10-2024; Ord. No. 25-27, § 1, 2-25-2025)