INDUSTRIAL DISTRICTS
The intent and purpose of the industrial commercial district (IC) is to provide for uses with commercial and industrial in nature and that are in close proximity to major roadways.
(Ord. No. 2007-12, exh. A(ch. V, § 17(a)), 8-22-2007)
(a)
Permitted uses. Refer to chapter 53, article II, division 5 for a detailed list of various types of uses and development standards. Refer to chapter 74 for special development requirements for the following uses permitted in the industrial commercial district (IC).
(1)
Residential uses as a watchman's or caretaker's quarters in connection with an existing industrial use located on the premises concerned.
(2)
Residential uses, subject to the provisions of section 68-862(a).
(3)
Professional offices.
(4)
Medical office.
(5)
Restaurants.
(6)
Hotels and motels with a maximum density of 75 units per acre.
(7)
Hotels and motels with retail uses integrated into the project, in an amount no less than ten percent of the total project floor area ratio, as calculated in section 74-157, with a maximum density of 95 units per acre.
(8)
Retail and services, only 15 percent of the entire development and could be independent from the principal use.
(9)
Retail and services, subject to the provisions of 68-862(b) up to 100 percent of the parcel if located within the district core of the Doral Design District Plan. The district core shall contain no more than ten percent retail and service uses.
(10)
Educational facilities.
(11)
Trade schools.
(12)
Religious facilities.
(13)
Day care facilities.
(14)
Warehouses.
(15)
Showrooms.
(16)
Manufacturing, light (see section 52-5 for definitions).
(17)
Places of assembly (banquet halls, private clubs, convention and auditoriums).
(18)
Recreation facilities.
(19)
Automotive rental.
(20)
Mini warehouses or self-storage facility.
(21)
Motion picture production studios.
(22)
Parking lots.
(23)
Bars.
(24)
Nightclubs.
(25)
Wine cafes.
(26)
Kennels.
(27)
Banks.
(28)
Brewpubs.
(29)
Vertical indoor farms.
(b)
Prohibited uses. Refer to chapter 53, article II, division 5 for a detailed list of various types of uses and development standards. In no instance shall the following commercial uses be permitted in the industrial commercial district (IC):
(1)
Amusement centers.
(2)
Entertainment centers.
(3)
Health/exercise centers.
(4)
Sport facilities.
(5)
Schools.
(Ord. No. 2007-12, exh. A(ch. V, § 17(b)), 8-22-2007; Ord. No. 2012-26, § 2, 10-30-2012; Ord. No. 2016-19, § 2, 6-8-2016; Ord. No. 2017-04, § 2, 3-22-2017; Ord. No. 2021-17, § 2, 6-23-2021; Ord. No. 2021-40, § 2, 3-23-2022)
Refer to chapter 53, article II, division 5 for a detailed list of various types of uses and development standards. Refer to chapter 74 for special development requirements for the following uses permitted in the industrial commercial district (IC):
(1)
Auto dealerships and truck sales for new and/or used vehicles, including ancillary uses such as auto and truck rentals, wholesale distribution and auto repair; only 40 percent of total gross building area is allowed for repair/service bays.
(2)
Auto repair, painting, top and body works pursuant to section 74-148.
(3)
Hotels and motels pursuant to section 74-157.
(4)
Manufacturing, medium (see section 52-5 for definition) pursuant to section 74-158.
(5)
Pharmaceutical storage pursuant to section 74-159.
(6)
Sales rooms and show rooms pursuant to section 74-161.
(7)
Telecommunications hubs pursuant to section 74-162.
(8)
Membership warehouses pursuant to section 74-163.
(9)
Retailing of secondhand items and pawnshops pursuant to section 74-164.
(10)
Micro-brewery pursuant to section 74-168.
(11)
Assisted living facilities pursuant to section 74-147.
(Ord. No. 2007-12, exh. A(ch. V, § 17(c)), 8-22-2007; Ord. No. 2008-01, exh. A(amd. 8), 2-27-2008; Ord. No. 2019-13, § 2, 4-24-2019)
Refer to chapter 53, article II, division 5 for a detailed list of various types of uses and development standards. For additional regulations refer to:
(1)
Chapter 71, landscaping and buffers;
(2)
Chapter 74, articles IX—XI, towers, poles and masts;
(3)
Chapter 77, roads and vehicular use areas;
(4)
Chapter 80, sign regulations; and
(5)
Chapter 86, urban design and architectural standards.
(Ord. No. 2007-12, exh. A(ch. V, § 17(d)), 8-22-2007)
The operation of an equipment and appliance center for the testing, repair, overhauling and reconditioning of any and all equipment, appliances, and machinery sold by the operator/occupant; provided such may be manufactured at the location of the operation and in connection therewith individual customers bringing equipment to the site for such repairing, overhauling or reconditioning, may purchase parts for such equipment, appliances, or machinery.
(Ord. No. 2007-12, exh. A(ch. V, § 17(e)), 8-22-2007)
At all manufacturing establishments or rebuilding, storage or repair places permitted in an industrial commercial district (IC), all materials and products shall be stored and all manufacturing, rebuilding, storing or renovating operations shall be carried on entirely within an enclosed building or confined and completely enclosed within masonry walls not less than six feet in height; provided the water frontage of shipyards, dry docks, boat slips, and like uses may be open.
(Ord. No. 2007-12, exh. A(ch. V, § 17(f)), 8-22-2007)
The following is a graphic depiction of the development standards for the industrial commercial district (IC). If the property is located within in the Doral Décor Overlay, then section 68-863(a) shall apply:
_____
;hn0; (Ord. No. 2007-12, exh. A(ch. V, § 17), 8-22-2007; Ord. No. 2012-26, § 2, 10-30-2012; Ord. No. 2021-40, § 2, 3-23-2022)
_____
The intent and purpose of the industrial district (I) is to allow for industrial uses in the city, which shall increase the economic activity as being in close proximity to Miami International Airport and to retain and continue allowing industrial uses in the city.
(Ord. No. 2007-12, exh. A(ch. V, § 18(a)), 8-22-2007)
(a)
Permitted uses. Refer to chapter 53, article II, division 5 for a detailed list of various types of uses and development standards. Refer to chapter 74 for special development requirements for the following uses permitted in the industrial district (I).
(1)
Residential uses as a watchman's or caretaker's quarters in connection with an existing industrial use located on the premises concerned.
(1a)
Residential uses, subject to the provisions of section 68-862(a).
(2)
Professional offices.
(3)
Medical offices.
(4)
Restaurants.
(5)
Hotels and motels with a maximum density of 75 units per acre.
(6)
Retail and services, permitted only as an ancillary use with only 15 percent of the entire development in conjunction with principle uses.
(6a)
Retail and services, subject to the provisions of section 68-86(b).
(7)
Educational facilities.
(8)
Trade schools.
(9)
Religious facilities.
(10)
Day care facilities.
(11)
Warehouses.
(12)
Showrooms.
(13)
Manufacturing, light.
(14)
Places of assembly (banquet halls, private clubs, convention and auditoriums).
(15)
Recreation facilities.
(16)
Automotive rental.
(17)
Mini warehouses or self-storage facility.
(18)
Motion picture production studios.
(19)
Parking lots.
(20)
Kennels.
(21)
Banks.
(22)
Brewpubs.
(23)
Vertical indoor farms.
(b)
Prohibited uses. Refer to chapter 53, article II, division 5 for a detailed list of various types of uses and development standards. In no instance shall the following commercial uses be permitted in the industrial district (I):
(1)
Amusement centers.
(2)
Entertainment centers.
(3)
Health/exercise centers.
(4)
Sport facilities.
(5)
Schools.
(Ord. No. 2007-12, exh. A(ch. V, § 18(b)), 8-22-2007; Ord. No. 2012-26, § 2, 10-30-2012; Ord. No. 2017-04, § 2, 3-22-2017; Ord. No. 2021-17, § 2, 6-23-2021; Ord. No. 2021-40, § 2, 3-23-2022)
The following uses are permitted in the industrial (I) district, under the special development requirements and/or specified herein. Refer to chapter 53, article II, division 5 for a detailed list of various types of uses and development standards. Refer to chapter 74 for special development regulations for these uses permitted in the industrial district (I).
(1)
Hotels and motels with retail uses integrated into the project, in an amount no less than ten percent of the total project floor area ratio, as calculated in section 74-157, with a maximum density of 95 units per acre.
(2)
Bars pursuant to chapter 74, article IV.
(3)
Nightclubs pursuant to chapter 74, article IV.
(4)
Auto dealerships and truck sales pursuant to section 74-152.
(5)
Auto repair, painting, top and body works pursuant to section 74-148.
(6)
Manufacturing, heavy pursuant to section 74-158.
(7)
Manufacturing, medium pursuant to section 74-158.
(8)
Membership warehouses pursuant to section 74-163.
(9)
Micro-brewery pursuant to section 74-168.
(10)
Noncommercial parking lots pursuant to section 74-169.
(11)
Assisted living facilities pursuant to section 74-147.
(Ord. No. 2007-12, exh. A(ch. V, § 18(c)), 8-22-2007; Ord. No. 2016-19, § 2, 6-8-2016; Ord. No. 2019-13, § 2, 4-24-2019)
Refer to chapter 53, article II, division 5 for a detailed list of various types of uses and development standards. Refer to chapter 74, article VIII, division 6, for special development regulations for adult uses in the industrial district (I).
(Ord. No. 2007-12, exh. A(ch. V, § 18(d)), 8-22-2007)
Refer to chapter 53, article II, division 5 for a detailed list of various types of uses and development standards. For additional regulations refer to:
(1)
Chapter 71, landscaping and buffers;
(2)
Chapter 74, articles IX—XI, towers, poles and masts;
(3)
Chapter 77, roads and vehicular use areas;
(4)
Chapter 80, sign regulations; and
(5)
Chapter 86, urban design and architectural standards.
(Ord. No. 2007-12, exh. A(ch. V, § 18(e)), 8-22-2007)
The following is a graphic depiction of the development standards for the industrial district (I). If property is located within the Doral Décor Overlay District, then section 68-863(a) shall apply:
_____
;hn0; (Ord. No. 2007-12, exh. A(ch. V, § 18), 8-22-2007; Ord. No. 2012-26, § 2, 10-30-2012; Ord. No. 2021-40, § 2, 3-23-2022)
_____
The intent and purpose of the industrial restrictive district (I-R) is to allow for industrial uses in the city with sensitivity to the wellfields located in the city and which shall increase the economic activity as being in close proximity to Miami International Airport.
(Ord. No. 2007-12, exh. A(ch. V, § 19(a)), 8-22-2007)
All regulations in (I-R) district shall be in accordance with industrial zoning district regulations set forth in division 3 of this article with the following exceptions:
(1)
All developments shall comply with the wellfield protection regulations pursuant to chapter 24, division 2 of the Miami-Dade County Code.
(2)
Adult uses are prohibited.
(3)
Kennels are prohibited.
(4)
Petroleum storage and other similar uses are prohibited.
(5)
All uses that may potentially contaminate the ground and may pose threat to the wellfields are prohibited.
(6)
Schools are prohibited.
(Ord. No. 2007-12, exh. A(ch. V, § 19(b)), 8-22-2007; Ord. No. 2021-17, § 2, 6-23-2021)
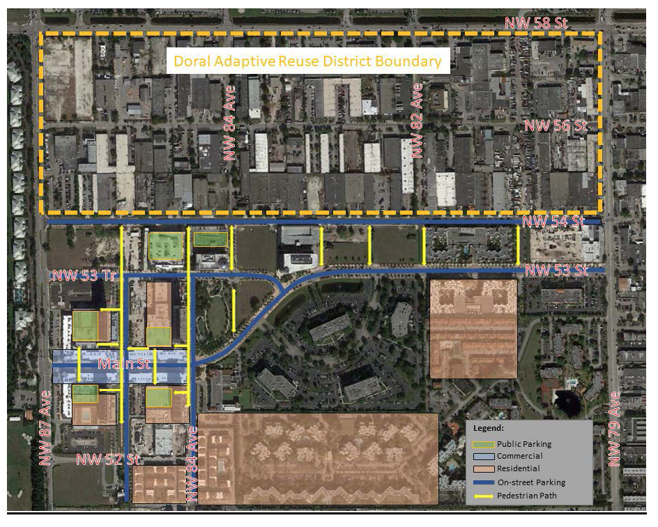
The Downtown Doral Art District is an overlay district that applies to the area bounded by NW 58 th Street to the north, NW 87 th Avenue to the west, NW 54 th Street to the south and NW 79 th Avenue to the east. This area is further depicted in the illustration below:
(Ord. No. 2020-07, § 2, 9-22-2020)
The intent and purpose of the Downtown Doral Art District ("District") is to facilitate the adaptive reuse of buildings in this district from a heavy commercial/industrial district to a more vibrant mix of light industrial and commercial uses that promote the city's arts, culture and wellness capitalizing on its proximity to the Downtown Urban Central Business District to:
(a)
Expand uses beyond those defined in typical industrial land use and zoning districts;
(b)
Promote greater flexibility for the establishment of retail and service uses;
(c)
Promote local arts and artisan crafts;
(d)
Create a non-residential mixed-use district that compliments the Downtown area;
(e)
Provide design guidance to create new active street-frontages while retaining the industrial urban design character of the area;
(f)
Foster a safe, walkable neighborhood;
(g)
Enable creative parking solutions, micro-mobility, walking, biking, and street connectivity.
(Ord. No. 2020-07, § 2, 9-22-2020)
The following terms shall have the following meanings when used in this division:
Adaptive reuse. A change of use of an existing structure from one authorized use to another authorized use for which the structure was not originally designed. Any use that does not trigger the thresholds for the definition of redevelopment shall be considered adaptive reuse.
Development. Process or result of construction, reconstruction, site improvement, installation of improvements, establishment of a temporary or accessory improvement or structure or other modification to land or a body of water. Development includes but is not limited to new development and redevelopment.
Green roof. A roof of a building that is partially or completely covered with living vegetation and a growing medium, planted over a waterproofing membrane. It may also include additional layers such as a root barrier, drainage, and irrigation systems.
Green wall. A wall that is partially or completely covered with live greenery that includes a growing medium, such as soil or a substrate. (Most green walls also feature an integrated water delivery system. Green walls are also known as living walls or vertical gardens.)
Mechanical parking facility. Also called an automated (car) parking system (APS), this is a mechanical system designed to minimize the ground area and/or volume required for parking cars. Like a multi-story parking garage, an APS provides parking for cars on multiple levels stacked vertically to maximize the number of parking spaces while minimizing land usage.
Mural. Artwork applied to the wall of a building that covers all or substantially all of the wall and depicts a scene or event of natural, social, cultural, or historic significance. Murals determined to be advertisement shall be considered a sign and shall be included in the calculation of allowable sign area.
New development. Development of essentially vacant land, regardless of whether preexisting improvements have been removed from such land.
Redevelopment. Development of pre-existing buildings or other improvements that in aggregate will equal or exceed the applicable threshold set forth below:
(1)
For a parcel containing one or more pre-existing buildings consisting of less than a total of 2,000 square feet, aggregate expansion equal to or exceeding 20 percent of the total square footage of buildings or
(2)
For a parcel containing one or more pre-existing buildings consisting of a total of 2,000 square feet or more, aggregate expansion equal to or exceeding ten percent of the total square footage of the building.
(3)
If there are multiple buildings on a site, the combined square footage of all buildings shall be used.
(Ord. No. 2020-07, § 2, 9-22-2020)
(a)
Generally. This section modifies the provisions relating to the establishment of land uses in the district. In addition to the conditions established in this division for the district, refer to chapter 53, article II, division 5 for a detailed list of various types of uses and development standards. Refer to chapter 74 for special development requirements for the following uses permitted in the underlying zoning districts.
(b)
Permitted uses. Except as modified in this division, the following uses shall be permitted in the district:
(1)
Uses authorized in the applicable underlying zoning districts under section 53-128, except as modified by section 68-849.
(2)
Alcoholic beverage service establishments.
(3)
Cultural activities and exhibitions.
(4)
Eating establishments, except as modified by section 68-849(a)(4).
(5)
Entertainment establishments.
(6)
Indoor pet care center.
(7)
Office uses.
(8)
Retail services without the limitations of section 68-820(a)(6).
(9)
Retail services for fitness/sports services, including health/exercise centers, as limited by section 68-849(c)(5).
(10)
Parking structures, including mechanical parking facilities.
(11)
Dance, arts, office and similar studios, workshops, galleries, offices, and display areas for artists and artisans.
(12)
Theaters, music venues, art and artisan museums and history museums.
(13)
Fitness/sports services, including health/exercise centers, subject to section 68-849.
(14)
Antique stores.
(15)
Manufacturing, warehousing, sales, distribution and repair of hand-made, unique, not mass-produced products of artists, artisans, and craftspeople, such as pottery, metal works, wood working, furniture, shoemaking, artistic signage, neon, or similar trades.
(16)
Transit facilities.
(17)
Indoor/outdoor food halls and farmers markets.
(18)
Indoor/outdoor halls for hire.
(19)
Indoor places of assembly.
(20)
Similar uses as determined by the planning and zoning director.
(Ord. No. 2020-07, § 2, 9-22-2020)
(a)
Prohibited uses. The following uses are prohibited in the district regardless of the provisions of chapter 53, the underlying land use district and zoning districts in chapter 68:
(1)
All residential, hotels, or overnight lodging.
(2)
All medical uses, including low intense medical categories.
(3)
Assisted living facilities, elderly care facilities.
(4)
Drive-in and drive-through eating establishments, as limited by section 68-849(b)(2).
(5)
Education facilities, except those specified in paragraph (c)(2) of this section.
(6)
Funeral homes or taxidermy.
(7)
Tattoo parlors, piercings, and body modification.
(8)
Kennels.
(9)
Religious facilities.
(10)
Flea markets or other outdoor markets not listed in section 68-848(b) on private property.
(11)
New manufacturing, heavy uses (this prohibition does not include manufacturing of hand-made works of artists, artisans, and craftspeople, such as pottery, metal works, wood working, furniture, shoemaking, artistic signage, neon, or repair of these types of uses that are unique and not mass produced).
(b)
Special exception uses. The following uses may be approved as special exception uses in the district following the special exception process of the LDR:
(1)
Personal non-commercial self-storage facilities.
(2)
Drive-in and drive-through services other than facilities abutting and taking access from NW 58 th Street, 79 th Avenue, or 87 th Avenue that are authorized in the underlying zoning district.
(3)
Indoor places of assembly that accommodate groups of more than 150 people.
(4)
Indoor/outdoor halls for hire that accommodate groups of more than 200 people.
(5)
Fitness/sports services, including health/exercise centers that are larger than 5,000 gross square feet.
(c)
Uses subject to supplemental conditions. In addition to any supplemental conditions established for base zoning districts, the following uses shall be subject to the supplemental conditions listed below:
(1)
Uses in the auto/truck/van sales, rental, storage, and repairs are limited to indoor repairs, storage and display only.
(2)
Educational facilities are limited to facilities providing training in crafts, trades, and performing or display arts (including, but not limited to martial arts, dance, painting, sculpture, photography, film, woodworking, metalworking and other similar uses as determined by the planning and zoning director). No PK—12 schools.
(3)
Parking structures shall be located behind buildings fronting on streets or shall include ground floor spaces for an authorized use along its street frontage or frontages.
(4)
Mechanical parking facilities shall be located in a rear or internal side yard and shall be screened from abutting right-of-way.
(5)
Fitness/sports services, including health/exercise centers shall be limited to 5,000 square feet.
(6)
Commercial use of rooftops shall be subject to the following conditions:
a.
Use of rooftops for gardening, producing electricity using photovoltaic panels, or producing hot water using solar thermal panels is allowed by right.
b.
Commercial use of rooftops shall be approved subject to site plan approval.
c.
Commercial use of rooftops of buildings that are adjacent to or abut a residential or mixed-use residential building shall require a special use permit prior to the establishment of the use.
d.
The design of rooftop areas that are put to commercial use shall take all reasonable efforts to minimize the effect of noise, light, and odor on nearby properties.
e.
All outdoor commercial uses are subject to city noise ordinances.
f.
Rooftop use, design and construction shall comply all applicable building codes (including plumbing codes with respect to rooftop vents), prior to use for commercial purposes.
(7)
Indoor/outdoor places of assembly shall accommodate groups of no more than 150 people. The city may authorize individual larger events pursuant to a special event permit.
(8)
Indoor/outdoor halls for hire shall accommodate groups of no more than 200 people or as allowed by section 68-849(b) by special exception. The city may authorize individual larger events pursuant to a special event permit.
(Ord. No. 2020-07, § 2, 9-22-2020)
(a)
Development standards. The general development standards of chapter 53, the applicable underlying district standards of this chapter shall apply to development and redevelopment except that:
(1)
Front and exterior (street) side setbacks along NW 54 th Street, NW 56 th Street, NW 82 nd Avenue, and NW 84 th Avenue may be reduced to ten feet where:
a.
Parking spaces are provided off-site or on-site to the interior side or rear of buildings on the parcel or either parallel or reverse angle parking as approved by the city is provided along the street frontage; and
b.
The front and exterior side setback area is retained for any combination of pedestrian access to the building, driveway access, publicly accessible courtyards, and planting areas for street trees as required by section 71-102.
(2)
The minimum setback along NW 79 th and 87 th Avenue may be reduced to ten feet where a five foot right-of-way dedication for expanded sidewalks is provided by the property owner.
(b)
Landscaping. The provisions of chapter 71 are modified for the district as follows:
(1)
Street trees shall be provided pursuant to section 71-102.
(2)
Buffer yard requirements of article V of chapter 71 are not required within the reuse district.
(3)
Parking lot landscaping requirements of sections 71-213 and 77-193 do not apply to the adaptive reuse of an existing structure in the reuse district.
(c)
Parking and loading. The parking and loading provisions of chapter 44 and article IV of chapter 77 shall apply unless specifically modified as follows for the district:
(1)
Parking required in district shall be required in accordance with this paragraph (c)(1) unless reduced pursuant to subsequent paragraphs in this section of the Land Development Code.
a.
Required parking spaces shall include spaces required for accessory uses in addition to spaces required for principal uses.
b.
When calculating parking demands, all units in a multi-tenant site or building shall be counted and the cumulative parking requirements for the site or building shall be met.
c.
When calculating required parking spaces, any fraction of a parking space shall be rounded down when less than .5 and rounded up when .5 or more.
d.
Parking reductions may be calculated cumulatively as applicable in this section 68-850(c)).
e.
Authorized commercial/retail, gallery, fitness and sports facilities, educational facilities, and office uses other than those listed below shall provide one space per 400 square feet of gross leasable area.
f.
Authorized restaurants, lounges, nightclubs or similar places dispensing food, drink or refreshments shall provide one space per 100 square feet of patron seating area, including indoor, outdoor, rooftop seating areas, and the area adjacent to a bar. The provisions of section 77-139 shall apply to any drive-through facility.
g.
Authorized industrial uses, including studios for artists and artisans shall provide one space per 1,000 square feet of operational spaces plus one space per 400 square feet of uses listed in paragraph (c)(1)a.1. of this section.
(2)
Additional reduced parking for adaptive reuse of existing buildings is authorized as provided below non-cumulatively:
a.
Any adaptive reuse of an existing building shall only be required to provide 50 percent of the parking required in paragraph (c)(1) or section 77-139; or,
b.
Any outdoor dining area that is accessory to an eating establishment, may exempt the first 300 square feet of outdoor dining area from the minimum parking requirements. The outdoor dining areas should not exceed 25 percent of the primary building's ground level gross floor area; or,
c.
Any use that increases parking demands by fewer than 20 percent of the existing parking demands, as established in the current Land Development Code, shall not be required to provide additional parking.
(3)
Parking reductions.
a.
Shared parking. A shared parking ratio may be applied using the ULI/ITE standard ratios to satisfy the parking requirements in mixed-use buildings or sites.
b.
Cross-block connections. The total on-site parking requirement, after deducting any other authorized parking reductions may be reduced by 20 percent and floor area ratio (FAR) may be increased by 20 percent where the applicant has secured, dedicated and improved, and maintains a publicly accessible cross-block connection for pedestrians that complies with the provisions of section 68-850(d).
c.
Electric vehicle (EV) parking. Required parking spaces may be reduced by substituting electric vehicle charging/ parking spaces at a ratio of 2:1, up to two EV spaces per site. All electric vehicle charging/parking spaces must comply with chapter 44 and Miami-Dade County Code of Ordinances Sections 30-423 and 33-122.5 for signage, markings, types of EV chargers, locations, parking spaces, definitions, and other relevant sections of Miami-Dade County Code of Ordinances pertaining to electric vehicles.
(4)
Other parking options.
a.
Off-site private parking. Public parking required within the district may be provided off-site per chapter 44 and chapter 77. An off-site parking agreement may be executed in accordance with paragraph (c)(3) of this section and shall be located within one-quarter mile of the use generating demand for the parking, measured from property line to property line along streets and/or cross-block passages.
b.
Off-site public parking. Public parking required within the district may be provided off-site per chapter 44 and chapter 77. An off-site parking agreement may be executed with a public or private parking facility located within one-quarter mile of the use generating demand for the parking, measured from property line to property line along streets and/or cross-block passages.
c.
On-street parking. Public parking along the right-of-way and within the frontage of a business in the district, may be counted towards the business' required parking. All parking on the right-of-way must be consistent with chapter 44 of the City of Doral Land Development Code. If a business or development is going to fund or construct public parking in the right-of-way, these spaces may count towards the business or development's total spaces required and must be coordinated with the public works department and meets the requirements of paragraph (a) of this section.
d.
Valet parking. The use of valet parking is allowed in the district per chapter 44, article V, division 3, Valet Parking. All associated regulations and requirements are specified within chapter 44 of the Land Development Code.
e.
Payment-in-lieu of parking. Payment-in-lieu of parking fees are allowed in the district per chapter 44, article V, division 6, Payment-in-lieu fees. All associated regulations and requirements are specified within Chapter 44 of the Land Development Code.
(5)
Parking agreements. Parking agreements are required whenever the property owner is not able to park the required parking spaces within their lot or public right-of-way frontage. All parking agreements shall follow the following requirements:
a.
Agreement required. An off-site parking or valet parking agreement shall be executed by the parties on a form provided by and approved by the city attorney and pursuant to section 77-140(c). The agreement shall be recorded in the public records at the owner's expense.
b.
Owner defined. For purposes of this section, "owner" shall be deemed to include lessees of property under long term leases wherein the lessee's right to possession of the property is for a period of not less than 50 years from the date of the off-street parking agreement and where the fee simple owner has joined in the execution of the owner's agreement for the purposes of consenting to the terms of the agreement. Owner shall also include the owner of an exclusive easement for parking purposes as long as the fee simple owner of the property consents to the parking agreement.
c.
Off-site parking agreement. When the required off-street parking is to be provided on a site at a location different from the site which will be served by the parking, the owner of the off-site parcel of land and the owner of the land intended to be served by such off-site parking (if different than the owner of the parcel to be used for parking) shall enter into an agreement between the owners in a form approved by the city attorney, and pursuant to section 77-140(c).
d.
Valet parking. When an owner of a parcel wishes to provide valet parking services, the owner must obtain city approvals, licenses, and permits pursuant to city code.
(6)
Parking space design.
a.
Parking spaces shall be designed in accordance with the provisions of chapter 77 unless otherwise provided herein or the planning and zoning director finds that site constraints mean that adjustments to the parking space and parking aisle width are necessary to make efficient use of available parking areas.
b.
For purposes of this district, parking spaces may be eight feet wide by 18 feet in length and parking aisles may be 22 feet in width. Parking aisles may be reduced by up to one foot with a parking space width being increased by six inches.
c.
Up to 25 percent of required on-site parking may be designed and constructed to serve compact vehicles. Compact spaces shall measure seven and one-half feet by 16 feet with a clear backup space of 21 feet.
d.
Tandem parking spaces may be authorized by this section for valet and employee parking only and may be reduced to 16 feet in length where a two foot overhang is provided.
e.
Valet parking spaces may use the standards for compact size parking spaces.
(7)
Parking structures. Parking structures shall comply with the following standards:
a.
Free-standing parking structures shall be limited to four levels of parking.
b.
Parking structures shall provide a lining of retail, office uses, window displays, security, bicycle storage, or combination thereof at the street level along all street frontages.
c.
When the parking structure includes a commercial use lining the building on the street level, the retail or commercial liner shall provide a usable depth of no less than 15 feet. At least 40 percent of the ground floor wall area between two feet and seven feet shall be glazed and shall have a minimum transparency of 70 percent.
d.
When the parking structure includes window displays lining the building on the street level, window displays shall provide a usable depth of no less than three feet. At least 40 percent of the ground floor wall area between two feet and seven feet shall be glazed and shall have a minimum transparency of 70 percent.
e.
All structured parking facilities shall provide a minimum of five electric vehicle charging/parking spaces on the first level of parking and five bicycle racks within the parking structure at the ground level.
f.
Artistic parking garage opening designs. The applicant may propose an artistic design, subject to the recommendation of the planning and zoning director, and approval by the public art program advisory board. Alternative designs for parking garage openings shall be compatible with the purposes and intent of the district.
Parking garage openings shall be designed so that vehicles and garage lighting are not visible from abutting streets.
(8)
Mechanical parking facilities. Mechanical parking facilities may be used to satisfy all, or a portion of parking requirements as follows:
a.
A loading area for convenient transfer of goods and passengers shall be provided for mechanical parking facilities serving ten or more automobiles.
b.
Mechanical parking facilities shall not park more than three levels of cars and no additional vehicle(s) shall park so as to limit access to the lift.
c.
Mechanical parking facilities shall be operated by a valet or attendant at all times such that the parking is accessible to users.
d.
At least one parking lift level shall have a minimum unobstructed clearance height of six feet, six inches. All other levels shall have a minimum unobstructed clearance height of five feet.
e.
A mechanical parking facility installed on existing surface lot shall be covered on top and screened on all sides by a wall extending the entire height of the facility.
f.
Mechanical parking facilities shall provide a manual override to access or remove vehicles from the parking lift in the event of a power outage.
g.
Mechanical parking facilities shall be designed to prevent vehicle liquids and/or debris from spilling onto other vehicles or building surfaces.
(9)
Bicycle parking. Each site shall provide bicycle parking at a ratio of one bicycle space for every five required gross (pre-reductions) automobile parking spaces in racks that comply with the provisions of chapter 77.
(10)
Loading.
a.
New development and redevelopment. Loading spaces shall be provided in accordance with the provisions of chapter 77.
b.
Adaptive reuse. Existing loading spaces shall be retained to the extent that chapter 77 requires such spaces. No new loading spaces are required.
c.
Loading operations. [Reserved.]
(d)
Cross-block connections. Pursuant to the recommendations of "The Mayor's Institute on City Design" (March 20—22, 2019), the city will seek to obtain north-south cross-block connections to facilitate mobility throughout the District and connectivity to Downtown Doral, as seen below:
Ideally cross-block connections would be spaced approximately 400 feet apart.
Potential cross-block connections between Doral Downtown Art District and Downtown Doral.
Analysis of existing conditions and possible locations connecting both areas.
These cumulative paseos or mid-block pathways will expand upon existing pedestrian connections south of 54 th Street. One of the city's strategies for securing these connections is to provide an additional 20 percent parking reduction and a 20 percent FAR bonus, in exchange for private property owners building and maintaining the cross-block connections and shall comply with the guidelines in this section:
(1)
These provisions apply to north-south connections across private property that bisect the existing long blocks fronting on 53 rd , 54 th , 56 th , or 58 th Streets.
(2)
Cross-block connections shall be located at least 300 feet from a north-south avenue.
(3)
Outdoor cross-block connections.
a.
Outdoor cross-block connections shall be at least 12 feet in width (total), which includes: (See following illustration)
1.
At least 18 inches of shy space adjacent to buildings for window watchers and decorative features (i.e., planters, displays, menu boards, and trash receptacles).
2.
At least nine feet of unobstructed throughway for pedestrian travel.
Typical Outdoor Cross-Block Connection Section
b.
Outdoor cross-block connections shall be concrete walkways with medium broom finish, control joints and minimum four inch thickness or other surface with equivalent durability approved by the public works director.
c.
Trash receptacles shall be placed at each cross-street intersection and mid-point of the outdoor cross-block connection and shall not obstruct pedestrian throughways.
d.
Bicycle racks shall be located within a dedicated bicycle parking area at each cross-street intersection and shall not obstruct pedestrian throughways. (This requires additional width.)
e.
For new development or redevelopment, buildings fronting the outdoor cross-block connections shall have a zero-lot line with the following design elements:
1.
Primary entrance facing the outdoor cross-block connections;
2.
At least 40 percent of ground floor wall area between two and ten feet shall be comprised of windows or entries;
3.
At least 25 percent of upper floor(s) wall area between the finished floor and ceilings shall be comprised of windows;
4.
Awnings or canopies shall be provided above the ground floor doors and windows; and
5.
All other urban design and architectural standards shall comply with chapter 86.
f.
Projecting signs shall be erected perpendicular to the outdoor cross-block connections and shall not to extend more than four feet from the building wall, and not be less than seven feet above grade or exceed 15 feet above the finished walkway. All other signs shall comply with chapter 80.
(4)
Enclosed cross-block connections.
a.
Enclosed cross-block connections shall be at least 12 feet in width.
b.
Interior floor to ceiling height shall be at least 12 feet.
c.
Storefront doorway openings shall be nine feet in height.
d.
For new development and redevelopment at least 40 percent of ground floor wall area between two and ten feet shall be comprised of windows or entries.
e.
The flooring shall include, but not limited, to the following:
1.
Large vitrified/ceramic tiles;
2.
Natural stones; or
3.
Other materials of equivalent durability and aesthetic quality as approved by the planning and zoning director.
f.
Projecting signs shall be erected perpendicular to the outdoor cross-block connections, not to extend more than four feet from the building wall, and not be less than seven feet above grade. All other signs shall comply with chapter 80.
g.
Bicycle racks shall be located at dedicated bicycle parking areas at each cross-street entrance and shall not obstruct pedestrian throughways. (This requires additional width.)
h.
Trash receptacles shall be placed at each cross-street entrance and mid-point of the enclosed cross-block connection and shall not obstruct pedestrian throughways.
(e)
Stormwater Management. At least 50 percent of stormwater from new development or redevelopment sites shall be managed through low impact design (LID) techniques pursuant to section 74-881. This requirement does not apply to adaptive reuse projects. Landscape areas for adaptive reuse projects shall be designed to function as LID stormwater management facilities.
(f)
Artistic signs. The applicant may propose an artistic designed sign, subject to the recommendation of the planning and zoning director and approval by the public art program advisory board.
(1)
Purpose. Creative signs are approved signs that do not comply with the provisions of chapter 80, but merit relief from the strict provisions of that chapter due to their exceptional design that achieves the following purposes:
a.
To encourage signs of high-quality materials and workmanship;
b.
To encourage signs of unique design that exhibit a high degree of imagination, inventiveness; and
c.
To make a positive visual contribution to the overall image of the city, while mitigating the impacts of large or unusually designed signs.
(2)
Application. Any property owner or business owner in the district that is not otherwise subject to an approved privately enforced sign program is eligible to apply for a creative sign permit. Such application shall be made on the form(s) prescribed by the city and shall be accompanied by any required fees.
(3)
Review of the Application. A creative sign permit application shall be subject to review and approval by the planning and zoning director where the cumulative area of the proposed sign(s) does not exceed the square footage allocation. For those proposed sign(s) exceeding this allotment, such sign(s) shall be subject to review and approval by the public art program advisory board. The burden is on the applicant to demonstrate substantial compliance with the applicable creative sign design standards as set forth herein.
(4)
Hearings. All hearings of the public art program advisory board shall be open to the public. An advertisement shall be published and courtesy notice shall be mailed to property owners within 500-foot radius of the property at least five days prior to the day of the hearing. The cost of publishing an advertisement and courtesy notices for the hearing shall be paid by the applicant. Any person may appear at the hearing and present information or comment to the advisory board.
(5)
Decision. The decisions of the public art program advisory board shall be based upon the application and the evidence received at the hearing, using the criteria provided herein. The decisions of the planning and zoning director shall be based upon the criteria established herein. The planning and zoning director or advisory board shall issue a written finding of approval or denial of the application within ten calendar days of the final review.
(6)
Appeal. A decision of the public art program advisory board may be appealed to city council by the applicant or an abutting property owner. Such appeal must be filed within ten days of a decision by the advisory board.
(7)
Creative design criteria.
a.
Architectural criteria. The sign(s) should utilize or enhance the architectural elements of the building:
1.
The sign(s) should be placed in a logical location in relation to the overall composition of the building façade;
2.
The sign(s) should be integrated within and not cover any key architectural features and details of the building façade; and
3.
In no event shall a sign be larger than 100 square feet.
b.
Wall Signs. Wall signs should be centered within an area uninterrupted by doors, windows, or architectural details.
c.
Architectural Style. Each sign should be designed to be compatible with and relate to the architectural style of the main building or buildings upon the site where such sign is located.
d.
Color. The color(s) of a sign should be harmonious and complementary to the colors of the building on or near which it is to be located.
e.
Contextual Criteria. The sign(s) should contain at least one of the following elements:
1.
Historic design style.
2.
Positive and creative image reflecting current character of the business.
3.
Inventive representation of the use, name, or products of the business.
f.
Design Quality. The sign(s) should:
1.
Constitute a substantial aesthetic improvement to the site and should have a positive visual impact on the surrounding area;
2.
Be of unique design, and exhibit imagination, inventiveness;
3.
Provide strong graphic character through the imaginative use of graphics, color, texture, quality materials, scale, proportion and form; and
4.
Contribute to the image of the city by conveying a distinctive character that conveys a strong sense of place.
g.
Illumination. To convey a subtle appearance, the use of back-lit or reverse channel letters with halo illumination rather than internally lit signs are encouraged.
h.
Multiple Signs. Where more than one sign is proposed, all signs should have designs that incorporate the following design elements in a compatible and coordinated fashion:
1.
Letter style of copy; components;
2.
Type of construction materials;
3.
Lighting; and
4.
Method used for supporting sign (e.g., wall or ground base).
i.
Neighborhood Impacts. The sign(s) should:
1.
Be located and designed not to create adverse impacts on neighboring uses;
2.
Constitute a substantial aesthetic improvement to the site and should have a positive visual impact on the surrounding area; and
3.
Provide strong graphic character through the imaginative use of graphics, color, texture, quality materials, scale, and proportion.
j.
Sign Materials. The goal of sign design is to maintain attractive and compatible styling so as not to conflict or distract from the architectural character of the area. The choice of materials and the workmanship in the use of the materials should convey both a sense of quality and creativity.
(g)
Murals. Murals are artistic designs etched, tiled, painted, or drawn on a public or private structure.
(1)
Murals may be approved in the district by the public art program advisory board through the process described in paragraph (e) of this section.
(2)
Applicants proposing a mural must submit the following documents to the public art program advisory board for review and approval:
a.
A written consent from the property owner.
b.
If the mural is in a highly visible area, a letter of support from the neighboring property owners is encouraged.
c.
A draft of the artwork.
d.
A description of the media to be used and the surface on which the mural will be applied.
e.
A maintenance plan for who will be maintaining the mural.
(3)
If approved, the applicant is given written permission to move forward with the mural project.
(4)
Noncompliance: Any unapproved mural is considered graffiti and shall be required to be removed.
(h)
Urban design and architectural standards.Chapter 86, Urban Design and Architectural Standards, shall apply in the district, except as follows:
(1)
Adaptive reuse. Where building facades are modified building façades shall incorporate windows and doors covering not less than 40 percent of the street facing walls between two and eight feet above sidewalk grade.
(2)
New development and redevelopment. New buildings may recreate the industrial character of the reuse district.
(i)
Consistency with Adaptive Reuse Study Area Action Plan. All development, redevelopment and adaptive reuse of buildings within the district shall comply with the land use, urban design and transportation and connectivity regulations recommended in "Adaptive Reuse Study Area Action Plan" (amended by final ordinance to restrict no residential, hotels, elderly care or other overnight accommodations for people).
(Ord. No. 2020-07, § 2, 9-22-2020; Ord. No. 2024-04, § 4, 2-14-2024)
The Doral Décor Overlay District (DDOD) is intended to implement the Doral Design District comprehensive plan future land use category and related policies. The district supports the continuation of the area's focus as a center for the production and sales of tile, cabinetry, and other elements of décor for residential and non-residential buildings, while enabling reinvestment for a variety of commercial and light industrial uses that will be compatible with surrounding uses.
(Ord. No. 2021-40, § 2, 3-23-2021)
(a)
Permitted uses. This district authorizes uses permitted in the underlying zoning districts except that residential development may be approved subject to the provisions of section 68-862.
(b)
Prohibited land uses. The following uses are prohibited in the DDOD:
(1)
Educational facilities for grades Pre-K through 12.
(Ord. No. 2021-40, § 2, 3-23-2021)
(a)
Residential uses. Residential uses may be approved by the city council pursuant to the quasi-judicial proceeding procedures in chapter 2, article VI of this Code for parcels zoned IC or I when all of the following conditions are met:
(1)
The parcel(s) are designated DDD on the Future Land Use Map.
(2)
The units are located within a vertically mixed-use development.
(3)
Residential units are not located on the ground floor of any structure.
(4)
Density does not exceed 20 dwelling units per acre for any development. The number of units per projects shall be drawn down from the 925 unit maximum in the DDD Future Land Use Map category.
(5)
The abutting streets meet all the design requirements for public streets as established by the city, including sidewalks, curbs, and gutters, etc.
(6)
Truck loading docks shall not face the street.
(7)
Parking for residential uses is provided in accordance with section 77-139.
(b)
Retail uses. When the underlying zoning districts are IC or I, retail and service uses other than showrooms for décor businesses shall not encompass more than 25,000 square feet of floor area in each building. Décor businesses include sale of stone and tile, plumbing fixtures, lighting fixtures, and furnishings.
(Ord. No. 2021-40, § 2, 3-23-2021)
Unless specifically superseded by this section, all applicable land development and zoning regulations shall apply.
(a)
Uses and development standards. Refer to chapter 74 for special development requirements for the uses permitted in the applicable underlying zoning district. Refer to chapter 53, article II, division 5 for a detailed list of various types of uses. The zoning district development standards of section 53-127 are modified as follows:
(b)
Landscaping and buffers. The provisions of chapter 71 are modified for the district as follows:
(1)
Street trees shall be provided pursuant to section 71-102.
(2)
Buffer yard requirements pursuant to article 5, chapter 71 are not required within the DDOD.
(3)
The minimum number of trees required by section 71-105 are reduced by 50 percent.
(c)
Parking and loading. The parking and loading provisions of chapter 44 and article IV of chapter 77 shall apply unless specifically superseded as follows with the DDOD:
(1)
Parking calculations. Parking spaces shall be provided in accordance with chapter 44 except as reduced by the use of the parking incentives below.
(2)
Parking incentives. Any combination of the following parking incentives may be used provided that the total parking is not less than 70 percent of the number of spaces required by section 77-139.
a.
Shared parking. A shared parking ratio may be applied pursuant to section 77-140.
b.
Electric vehicle (EV) parking. Required parking spaces may be reduced by substituting electric vehicle charging/ parking spaces at a ratio of 2:1 for up to six EV spaces per site. All electric vehicle charging/parking spaces must comply with chapter 77 of this code.
c.
Off-site private parking. Parking required within the district may be provided off-site per chapter 44 and chapter 77. An off-site parking agreement shall be executed in accordance with section 77-140 and this provision may only be used where continuous paved and lighted sidewalks or cross-block connections are provided or exist between the parcels subject to the agreement.
d.
Expansion of showroom. Parking for a showroom of an existing décor business that is expanded into existing warehouse space is reduced by 50 percent, subject to the total limitation in this section.
(d)
Loading. No loading dock shall directly face NW 82 nd Avenue, NW 79 th Avenue, NW 25 th Street, or NW 36 th Street.
(e)
Cross-block connections. Cross-block connections are intended to provide additional bicycle and pedestrian connectivity in the DDOD where block faces are longer than 500 linear feet.
(1)
Applicability. When a parcel is redeveloped within a block with a block face length of more than 500 linear feet, cross-block connections shall be provided.
(2)
Location. Cross-block connections shall be located at least 250 feet from a road intersection. The cross-block connection shall connect to adjacent cross-block connections. Where an adjacent cross-block connection does not exist, the connection shall stub out to adjacent properties.
(3)
Design. Outdoor cross-block connections shall be at least 12 feet in width (total), which includes: (See following illustration)
a.
At least 18 inches of shy space adjacent to buildings for window watchers and decorative features (i.e., planters, displays, menu boards, and trash receptacles).
b.
At least nine feet of unobstructed throughway for pedestrian travel.
Typical Outdoor Cross-Block Connection Section
c.
Outdoor cross-block connections shall be concrete walkways with medium broom finish, control joints and minimum four-inch thickness or other surface with equivalent durability approved by the public works director.
d.
Trash receptacles shall be placed at each cross-street intersection and mid-point of the outdoor cross-block connection and shall not obstruct pedestrian throughways.
e.
Bicycle racks shall be located within a dedicated bicycle parking area and shall not obstruct pedestrian throughways.
f.
For new development or redevelopment, buildings fronting the outdoor cross-block connections shall include the following design elements:
i.
A primary entrance facing the outdoor cross-block connections;
ii.
At least 40 percent of ground floor wall area between two and ten feet shall be comprised of windows or entries;
iii.
At least 25 percent of upper floor(s) wall area between the finished floor and ceilings shall be comprised of windows;
iv.
Awnings or canopies shall be provided above the ground floor doors and windows; and
g.
All other urban design and architectural standards shall comply with chapter 86.
(Ord. No. 2021-40, § 2, 3-23-2021)
INDUSTRIAL DISTRICTS
The intent and purpose of the industrial commercial district (IC) is to provide for uses with commercial and industrial in nature and that are in close proximity to major roadways.
(Ord. No. 2007-12, exh. A(ch. V, § 17(a)), 8-22-2007)
(a)
Permitted uses. Refer to chapter 53, article II, division 5 for a detailed list of various types of uses and development standards. Refer to chapter 74 for special development requirements for the following uses permitted in the industrial commercial district (IC).
(1)
Residential uses as a watchman's or caretaker's quarters in connection with an existing industrial use located on the premises concerned.
(2)
Residential uses, subject to the provisions of section 68-862(a).
(3)
Professional offices.
(4)
Medical office.
(5)
Restaurants.
(6)
Hotels and motels with a maximum density of 75 units per acre.
(7)
Hotels and motels with retail uses integrated into the project, in an amount no less than ten percent of the total project floor area ratio, as calculated in section 74-157, with a maximum density of 95 units per acre.
(8)
Retail and services, only 15 percent of the entire development and could be independent from the principal use.
(9)
Retail and services, subject to the provisions of 68-862(b) up to 100 percent of the parcel if located within the district core of the Doral Design District Plan. The district core shall contain no more than ten percent retail and service uses.
(10)
Educational facilities.
(11)
Trade schools.
(12)
Religious facilities.
(13)
Day care facilities.
(14)
Warehouses.
(15)
Showrooms.
(16)
Manufacturing, light (see section 52-5 for definitions).
(17)
Places of assembly (banquet halls, private clubs, convention and auditoriums).
(18)
Recreation facilities.
(19)
Automotive rental.
(20)
Mini warehouses or self-storage facility.
(21)
Motion picture production studios.
(22)
Parking lots.
(23)
Bars.
(24)
Nightclubs.
(25)
Wine cafes.
(26)
Kennels.
(27)
Banks.
(28)
Brewpubs.
(29)
Vertical indoor farms.
(b)
Prohibited uses. Refer to chapter 53, article II, division 5 for a detailed list of various types of uses and development standards. In no instance shall the following commercial uses be permitted in the industrial commercial district (IC):
(1)
Amusement centers.
(2)
Entertainment centers.
(3)
Health/exercise centers.
(4)
Sport facilities.
(5)
Schools.
(Ord. No. 2007-12, exh. A(ch. V, § 17(b)), 8-22-2007; Ord. No. 2012-26, § 2, 10-30-2012; Ord. No. 2016-19, § 2, 6-8-2016; Ord. No. 2017-04, § 2, 3-22-2017; Ord. No. 2021-17, § 2, 6-23-2021; Ord. No. 2021-40, § 2, 3-23-2022)
Refer to chapter 53, article II, division 5 for a detailed list of various types of uses and development standards. Refer to chapter 74 for special development requirements for the following uses permitted in the industrial commercial district (IC):
(1)
Auto dealerships and truck sales for new and/or used vehicles, including ancillary uses such as auto and truck rentals, wholesale distribution and auto repair; only 40 percent of total gross building area is allowed for repair/service bays.
(2)
Auto repair, painting, top and body works pursuant to section 74-148.
(3)
Hotels and motels pursuant to section 74-157.
(4)
Manufacturing, medium (see section 52-5 for definition) pursuant to section 74-158.
(5)
Pharmaceutical storage pursuant to section 74-159.
(6)
Sales rooms and show rooms pursuant to section 74-161.
(7)
Telecommunications hubs pursuant to section 74-162.
(8)
Membership warehouses pursuant to section 74-163.
(9)
Retailing of secondhand items and pawnshops pursuant to section 74-164.
(10)
Micro-brewery pursuant to section 74-168.
(11)
Assisted living facilities pursuant to section 74-147.
(Ord. No. 2007-12, exh. A(ch. V, § 17(c)), 8-22-2007; Ord. No. 2008-01, exh. A(amd. 8), 2-27-2008; Ord. No. 2019-13, § 2, 4-24-2019)
Refer to chapter 53, article II, division 5 for a detailed list of various types of uses and development standards. For additional regulations refer to:
(1)
Chapter 71, landscaping and buffers;
(2)
Chapter 74, articles IX—XI, towers, poles and masts;
(3)
Chapter 77, roads and vehicular use areas;
(4)
Chapter 80, sign regulations; and
(5)
Chapter 86, urban design and architectural standards.
(Ord. No. 2007-12, exh. A(ch. V, § 17(d)), 8-22-2007)
The operation of an equipment and appliance center for the testing, repair, overhauling and reconditioning of any and all equipment, appliances, and machinery sold by the operator/occupant; provided such may be manufactured at the location of the operation and in connection therewith individual customers bringing equipment to the site for such repairing, overhauling or reconditioning, may purchase parts for such equipment, appliances, or machinery.
(Ord. No. 2007-12, exh. A(ch. V, § 17(e)), 8-22-2007)
At all manufacturing establishments or rebuilding, storage or repair places permitted in an industrial commercial district (IC), all materials and products shall be stored and all manufacturing, rebuilding, storing or renovating operations shall be carried on entirely within an enclosed building or confined and completely enclosed within masonry walls not less than six feet in height; provided the water frontage of shipyards, dry docks, boat slips, and like uses may be open.
(Ord. No. 2007-12, exh. A(ch. V, § 17(f)), 8-22-2007)
The following is a graphic depiction of the development standards for the industrial commercial district (IC). If the property is located within in the Doral Décor Overlay, then section 68-863(a) shall apply:
_____
;hn0; (Ord. No. 2007-12, exh. A(ch. V, § 17), 8-22-2007; Ord. No. 2012-26, § 2, 10-30-2012; Ord. No. 2021-40, § 2, 3-23-2022)
_____
The intent and purpose of the industrial district (I) is to allow for industrial uses in the city, which shall increase the economic activity as being in close proximity to Miami International Airport and to retain and continue allowing industrial uses in the city.
(Ord. No. 2007-12, exh. A(ch. V, § 18(a)), 8-22-2007)
(a)
Permitted uses. Refer to chapter 53, article II, division 5 for a detailed list of various types of uses and development standards. Refer to chapter 74 for special development requirements for the following uses permitted in the industrial district (I).
(1)
Residential uses as a watchman's or caretaker's quarters in connection with an existing industrial use located on the premises concerned.
(1a)
Residential uses, subject to the provisions of section 68-862(a).
(2)
Professional offices.
(3)
Medical offices.
(4)
Restaurants.
(5)
Hotels and motels with a maximum density of 75 units per acre.
(6)
Retail and services, permitted only as an ancillary use with only 15 percent of the entire development in conjunction with principle uses.
(6a)
Retail and services, subject to the provisions of section 68-86(b).
(7)
Educational facilities.
(8)
Trade schools.
(9)
Religious facilities.
(10)
Day care facilities.
(11)
Warehouses.
(12)
Showrooms.
(13)
Manufacturing, light.
(14)
Places of assembly (banquet halls, private clubs, convention and auditoriums).
(15)
Recreation facilities.
(16)
Automotive rental.
(17)
Mini warehouses or self-storage facility.
(18)
Motion picture production studios.
(19)
Parking lots.
(20)
Kennels.
(21)
Banks.
(22)
Brewpubs.
(23)
Vertical indoor farms.
(b)
Prohibited uses. Refer to chapter 53, article II, division 5 for a detailed list of various types of uses and development standards. In no instance shall the following commercial uses be permitted in the industrial district (I):
(1)
Amusement centers.
(2)
Entertainment centers.
(3)
Health/exercise centers.
(4)
Sport facilities.
(5)
Schools.
(Ord. No. 2007-12, exh. A(ch. V, § 18(b)), 8-22-2007; Ord. No. 2012-26, § 2, 10-30-2012; Ord. No. 2017-04, § 2, 3-22-2017; Ord. No. 2021-17, § 2, 6-23-2021; Ord. No. 2021-40, § 2, 3-23-2022)
The following uses are permitted in the industrial (I) district, under the special development requirements and/or specified herein. Refer to chapter 53, article II, division 5 for a detailed list of various types of uses and development standards. Refer to chapter 74 for special development regulations for these uses permitted in the industrial district (I).
(1)
Hotels and motels with retail uses integrated into the project, in an amount no less than ten percent of the total project floor area ratio, as calculated in section 74-157, with a maximum density of 95 units per acre.
(2)
Bars pursuant to chapter 74, article IV.
(3)
Nightclubs pursuant to chapter 74, article IV.
(4)
Auto dealerships and truck sales pursuant to section 74-152.
(5)
Auto repair, painting, top and body works pursuant to section 74-148.
(6)
Manufacturing, heavy pursuant to section 74-158.
(7)
Manufacturing, medium pursuant to section 74-158.
(8)
Membership warehouses pursuant to section 74-163.
(9)
Micro-brewery pursuant to section 74-168.
(10)
Noncommercial parking lots pursuant to section 74-169.
(11)
Assisted living facilities pursuant to section 74-147.
(Ord. No. 2007-12, exh. A(ch. V, § 18(c)), 8-22-2007; Ord. No. 2016-19, § 2, 6-8-2016; Ord. No. 2019-13, § 2, 4-24-2019)
Refer to chapter 53, article II, division 5 for a detailed list of various types of uses and development standards. Refer to chapter 74, article VIII, division 6, for special development regulations for adult uses in the industrial district (I).
(Ord. No. 2007-12, exh. A(ch. V, § 18(d)), 8-22-2007)
Refer to chapter 53, article II, division 5 for a detailed list of various types of uses and development standards. For additional regulations refer to:
(1)
Chapter 71, landscaping and buffers;
(2)
Chapter 74, articles IX—XI, towers, poles and masts;
(3)
Chapter 77, roads and vehicular use areas;
(4)
Chapter 80, sign regulations; and
(5)
Chapter 86, urban design and architectural standards.
(Ord. No. 2007-12, exh. A(ch. V, § 18(e)), 8-22-2007)
The following is a graphic depiction of the development standards for the industrial district (I). If property is located within the Doral Décor Overlay District, then section 68-863(a) shall apply:
_____
;hn0; (Ord. No. 2007-12, exh. A(ch. V, § 18), 8-22-2007; Ord. No. 2012-26, § 2, 10-30-2012; Ord. No. 2021-40, § 2, 3-23-2022)
_____
The intent and purpose of the industrial restrictive district (I-R) is to allow for industrial uses in the city with sensitivity to the wellfields located in the city and which shall increase the economic activity as being in close proximity to Miami International Airport.
(Ord. No. 2007-12, exh. A(ch. V, § 19(a)), 8-22-2007)
All regulations in (I-R) district shall be in accordance with industrial zoning district regulations set forth in division 3 of this article with the following exceptions:
(1)
All developments shall comply with the wellfield protection regulations pursuant to chapter 24, division 2 of the Miami-Dade County Code.
(2)
Adult uses are prohibited.
(3)
Kennels are prohibited.
(4)
Petroleum storage and other similar uses are prohibited.
(5)
All uses that may potentially contaminate the ground and may pose threat to the wellfields are prohibited.
(6)
Schools are prohibited.
(Ord. No. 2007-12, exh. A(ch. V, § 19(b)), 8-22-2007; Ord. No. 2021-17, § 2, 6-23-2021)
The Downtown Doral Art District is an overlay district that applies to the area bounded by NW 58 th Street to the north, NW 87 th Avenue to the west, NW 54 th Street to the south and NW 79 th Avenue to the east. This area is further depicted in the illustration below:
(Ord. No. 2020-07, § 2, 9-22-2020)
The intent and purpose of the Downtown Doral Art District ("District") is to facilitate the adaptive reuse of buildings in this district from a heavy commercial/industrial district to a more vibrant mix of light industrial and commercial uses that promote the city's arts, culture and wellness capitalizing on its proximity to the Downtown Urban Central Business District to:
(a)
Expand uses beyond those defined in typical industrial land use and zoning districts;
(b)
Promote greater flexibility for the establishment of retail and service uses;
(c)
Promote local arts and artisan crafts;
(d)
Create a non-residential mixed-use district that compliments the Downtown area;
(e)
Provide design guidance to create new active street-frontages while retaining the industrial urban design character of the area;
(f)
Foster a safe, walkable neighborhood;
(g)
Enable creative parking solutions, micro-mobility, walking, biking, and street connectivity.
(Ord. No. 2020-07, § 2, 9-22-2020)
The following terms shall have the following meanings when used in this division:
Adaptive reuse. A change of use of an existing structure from one authorized use to another authorized use for which the structure was not originally designed. Any use that does not trigger the thresholds for the definition of redevelopment shall be considered adaptive reuse.
Development. Process or result of construction, reconstruction, site improvement, installation of improvements, establishment of a temporary or accessory improvement or structure or other modification to land or a body of water. Development includes but is not limited to new development and redevelopment.
Green roof. A roof of a building that is partially or completely covered with living vegetation and a growing medium, planted over a waterproofing membrane. It may also include additional layers such as a root barrier, drainage, and irrigation systems.
Green wall. A wall that is partially or completely covered with live greenery that includes a growing medium, such as soil or a substrate. (Most green walls also feature an integrated water delivery system. Green walls are also known as living walls or vertical gardens.)
Mechanical parking facility. Also called an automated (car) parking system (APS), this is a mechanical system designed to minimize the ground area and/or volume required for parking cars. Like a multi-story parking garage, an APS provides parking for cars on multiple levels stacked vertically to maximize the number of parking spaces while minimizing land usage.
Mural. Artwork applied to the wall of a building that covers all or substantially all of the wall and depicts a scene or event of natural, social, cultural, or historic significance. Murals determined to be advertisement shall be considered a sign and shall be included in the calculation of allowable sign area.
New development. Development of essentially vacant land, regardless of whether preexisting improvements have been removed from such land.
Redevelopment. Development of pre-existing buildings or other improvements that in aggregate will equal or exceed the applicable threshold set forth below:
(1)
For a parcel containing one or more pre-existing buildings consisting of less than a total of 2,000 square feet, aggregate expansion equal to or exceeding 20 percent of the total square footage of buildings or
(2)
For a parcel containing one or more pre-existing buildings consisting of a total of 2,000 square feet or more, aggregate expansion equal to or exceeding ten percent of the total square footage of the building.
(3)
If there are multiple buildings on a site, the combined square footage of all buildings shall be used.
(Ord. No. 2020-07, § 2, 9-22-2020)
(a)
Generally. This section modifies the provisions relating to the establishment of land uses in the district. In addition to the conditions established in this division for the district, refer to chapter 53, article II, division 5 for a detailed list of various types of uses and development standards. Refer to chapter 74 for special development requirements for the following uses permitted in the underlying zoning districts.
(b)
Permitted uses. Except as modified in this division, the following uses shall be permitted in the district:
(1)
Uses authorized in the applicable underlying zoning districts under section 53-128, except as modified by section 68-849.
(2)
Alcoholic beverage service establishments.
(3)
Cultural activities and exhibitions.
(4)
Eating establishments, except as modified by section 68-849(a)(4).
(5)
Entertainment establishments.
(6)
Indoor pet care center.
(7)
Office uses.
(8)
Retail services without the limitations of section 68-820(a)(6).
(9)
Retail services for fitness/sports services, including health/exercise centers, as limited by section 68-849(c)(5).
(10)
Parking structures, including mechanical parking facilities.
(11)
Dance, arts, office and similar studios, workshops, galleries, offices, and display areas for artists and artisans.
(12)
Theaters, music venues, art and artisan museums and history museums.
(13)
Fitness/sports services, including health/exercise centers, subject to section 68-849.
(14)
Antique stores.
(15)
Manufacturing, warehousing, sales, distribution and repair of hand-made, unique, not mass-produced products of artists, artisans, and craftspeople, such as pottery, metal works, wood working, furniture, shoemaking, artistic signage, neon, or similar trades.
(16)
Transit facilities.
(17)
Indoor/outdoor food halls and farmers markets.
(18)
Indoor/outdoor halls for hire.
(19)
Indoor places of assembly.
(20)
Similar uses as determined by the planning and zoning director.
(Ord. No. 2020-07, § 2, 9-22-2020)
(a)
Prohibited uses. The following uses are prohibited in the district regardless of the provisions of chapter 53, the underlying land use district and zoning districts in chapter 68:
(1)
All residential, hotels, or overnight lodging.
(2)
All medical uses, including low intense medical categories.
(3)
Assisted living facilities, elderly care facilities.
(4)
Drive-in and drive-through eating establishments, as limited by section 68-849(b)(2).
(5)
Education facilities, except those specified in paragraph (c)(2) of this section.
(6)
Funeral homes or taxidermy.
(7)
Tattoo parlors, piercings, and body modification.
(8)
Kennels.
(9)
Religious facilities.
(10)
Flea markets or other outdoor markets not listed in section 68-848(b) on private property.
(11)
New manufacturing, heavy uses (this prohibition does not include manufacturing of hand-made works of artists, artisans, and craftspeople, such as pottery, metal works, wood working, furniture, shoemaking, artistic signage, neon, or repair of these types of uses that are unique and not mass produced).
(b)
Special exception uses. The following uses may be approved as special exception uses in the district following the special exception process of the LDR:
(1)
Personal non-commercial self-storage facilities.
(2)
Drive-in and drive-through services other than facilities abutting and taking access from NW 58 th Street, 79 th Avenue, or 87 th Avenue that are authorized in the underlying zoning district.
(3)
Indoor places of assembly that accommodate groups of more than 150 people.
(4)
Indoor/outdoor halls for hire that accommodate groups of more than 200 people.
(5)
Fitness/sports services, including health/exercise centers that are larger than 5,000 gross square feet.
(c)
Uses subject to supplemental conditions. In addition to any supplemental conditions established for base zoning districts, the following uses shall be subject to the supplemental conditions listed below:
(1)
Uses in the auto/truck/van sales, rental, storage, and repairs are limited to indoor repairs, storage and display only.
(2)
Educational facilities are limited to facilities providing training in crafts, trades, and performing or display arts (including, but not limited to martial arts, dance, painting, sculpture, photography, film, woodworking, metalworking and other similar uses as determined by the planning and zoning director). No PK—12 schools.
(3)
Parking structures shall be located behind buildings fronting on streets or shall include ground floor spaces for an authorized use along its street frontage or frontages.
(4)
Mechanical parking facilities shall be located in a rear or internal side yard and shall be screened from abutting right-of-way.
(5)
Fitness/sports services, including health/exercise centers shall be limited to 5,000 square feet.
(6)
Commercial use of rooftops shall be subject to the following conditions:
a.
Use of rooftops for gardening, producing electricity using photovoltaic panels, or producing hot water using solar thermal panels is allowed by right.
b.
Commercial use of rooftops shall be approved subject to site plan approval.
c.
Commercial use of rooftops of buildings that are adjacent to or abut a residential or mixed-use residential building shall require a special use permit prior to the establishment of the use.
d.
The design of rooftop areas that are put to commercial use shall take all reasonable efforts to minimize the effect of noise, light, and odor on nearby properties.
e.
All outdoor commercial uses are subject to city noise ordinances.
f.
Rooftop use, design and construction shall comply all applicable building codes (including plumbing codes with respect to rooftop vents), prior to use for commercial purposes.
(7)
Indoor/outdoor places of assembly shall accommodate groups of no more than 150 people. The city may authorize individual larger events pursuant to a special event permit.
(8)
Indoor/outdoor halls for hire shall accommodate groups of no more than 200 people or as allowed by section 68-849(b) by special exception. The city may authorize individual larger events pursuant to a special event permit.
(Ord. No. 2020-07, § 2, 9-22-2020)
(a)
Development standards. The general development standards of chapter 53, the applicable underlying district standards of this chapter shall apply to development and redevelopment except that:
(1)
Front and exterior (street) side setbacks along NW 54 th Street, NW 56 th Street, NW 82 nd Avenue, and NW 84 th Avenue may be reduced to ten feet where:
a.
Parking spaces are provided off-site or on-site to the interior side or rear of buildings on the parcel or either parallel or reverse angle parking as approved by the city is provided along the street frontage; and
b.
The front and exterior side setback area is retained for any combination of pedestrian access to the building, driveway access, publicly accessible courtyards, and planting areas for street trees as required by section 71-102.
(2)
The minimum setback along NW 79 th and 87 th Avenue may be reduced to ten feet where a five foot right-of-way dedication for expanded sidewalks is provided by the property owner.
(b)
Landscaping. The provisions of chapter 71 are modified for the district as follows:
(1)
Street trees shall be provided pursuant to section 71-102.
(2)
Buffer yard requirements of article V of chapter 71 are not required within the reuse district.
(3)
Parking lot landscaping requirements of sections 71-213 and 77-193 do not apply to the adaptive reuse of an existing structure in the reuse district.
(c)
Parking and loading. The parking and loading provisions of chapter 44 and article IV of chapter 77 shall apply unless specifically modified as follows for the district:
(1)
Parking required in district shall be required in accordance with this paragraph (c)(1) unless reduced pursuant to subsequent paragraphs in this section of the Land Development Code.
a.
Required parking spaces shall include spaces required for accessory uses in addition to spaces required for principal uses.
b.
When calculating parking demands, all units in a multi-tenant site or building shall be counted and the cumulative parking requirements for the site or building shall be met.
c.
When calculating required parking spaces, any fraction of a parking space shall be rounded down when less than .5 and rounded up when .5 or more.
d.
Parking reductions may be calculated cumulatively as applicable in this section 68-850(c)).
e.
Authorized commercial/retail, gallery, fitness and sports facilities, educational facilities, and office uses other than those listed below shall provide one space per 400 square feet of gross leasable area.
f.
Authorized restaurants, lounges, nightclubs or similar places dispensing food, drink or refreshments shall provide one space per 100 square feet of patron seating area, including indoor, outdoor, rooftop seating areas, and the area adjacent to a bar. The provisions of section 77-139 shall apply to any drive-through facility.
g.
Authorized industrial uses, including studios for artists and artisans shall provide one space per 1,000 square feet of operational spaces plus one space per 400 square feet of uses listed in paragraph (c)(1)a.1. of this section.
(2)
Additional reduced parking for adaptive reuse of existing buildings is authorized as provided below non-cumulatively:
a.
Any adaptive reuse of an existing building shall only be required to provide 50 percent of the parking required in paragraph (c)(1) or section 77-139; or,
b.
Any outdoor dining area that is accessory to an eating establishment, may exempt the first 300 square feet of outdoor dining area from the minimum parking requirements. The outdoor dining areas should not exceed 25 percent of the primary building's ground level gross floor area; or,
c.
Any use that increases parking demands by fewer than 20 percent of the existing parking demands, as established in the current Land Development Code, shall not be required to provide additional parking.
(3)
Parking reductions.
a.
Shared parking. A shared parking ratio may be applied using the ULI/ITE standard ratios to satisfy the parking requirements in mixed-use buildings or sites.
b.
Cross-block connections. The total on-site parking requirement, after deducting any other authorized parking reductions may be reduced by 20 percent and floor area ratio (FAR) may be increased by 20 percent where the applicant has secured, dedicated and improved, and maintains a publicly accessible cross-block connection for pedestrians that complies with the provisions of section 68-850(d).
c.
Electric vehicle (EV) parking. Required parking spaces may be reduced by substituting electric vehicle charging/ parking spaces at a ratio of 2:1, up to two EV spaces per site. All electric vehicle charging/parking spaces must comply with chapter 44 and Miami-Dade County Code of Ordinances Sections 30-423 and 33-122.5 for signage, markings, types of EV chargers, locations, parking spaces, definitions, and other relevant sections of Miami-Dade County Code of Ordinances pertaining to electric vehicles.
(4)
Other parking options.
a.
Off-site private parking. Public parking required within the district may be provided off-site per chapter 44 and chapter 77. An off-site parking agreement may be executed in accordance with paragraph (c)(3) of this section and shall be located within one-quarter mile of the use generating demand for the parking, measured from property line to property line along streets and/or cross-block passages.
b.
Off-site public parking. Public parking required within the district may be provided off-site per chapter 44 and chapter 77. An off-site parking agreement may be executed with a public or private parking facility located within one-quarter mile of the use generating demand for the parking, measured from property line to property line along streets and/or cross-block passages.
c.
On-street parking. Public parking along the right-of-way and within the frontage of a business in the district, may be counted towards the business' required parking. All parking on the right-of-way must be consistent with chapter 44 of the City of Doral Land Development Code. If a business or development is going to fund or construct public parking in the right-of-way, these spaces may count towards the business or development's total spaces required and must be coordinated with the public works department and meets the requirements of paragraph (a) of this section.
d.
Valet parking. The use of valet parking is allowed in the district per chapter 44, article V, division 3, Valet Parking. All associated regulations and requirements are specified within chapter 44 of the Land Development Code.
e.
Payment-in-lieu of parking. Payment-in-lieu of parking fees are allowed in the district per chapter 44, article V, division 6, Payment-in-lieu fees. All associated regulations and requirements are specified within Chapter 44 of the Land Development Code.
(5)
Parking agreements. Parking agreements are required whenever the property owner is not able to park the required parking spaces within their lot or public right-of-way frontage. All parking agreements shall follow the following requirements:
a.
Agreement required. An off-site parking or valet parking agreement shall be executed by the parties on a form provided by and approved by the city attorney and pursuant to section 77-140(c). The agreement shall be recorded in the public records at the owner's expense.
b.
Owner defined. For purposes of this section, "owner" shall be deemed to include lessees of property under long term leases wherein the lessee's right to possession of the property is for a period of not less than 50 years from the date of the off-street parking agreement and where the fee simple owner has joined in the execution of the owner's agreement for the purposes of consenting to the terms of the agreement. Owner shall also include the owner of an exclusive easement for parking purposes as long as the fee simple owner of the property consents to the parking agreement.
c.
Off-site parking agreement. When the required off-street parking is to be provided on a site at a location different from the site which will be served by the parking, the owner of the off-site parcel of land and the owner of the land intended to be served by such off-site parking (if different than the owner of the parcel to be used for parking) shall enter into an agreement between the owners in a form approved by the city attorney, and pursuant to section 77-140(c).
d.
Valet parking. When an owner of a parcel wishes to provide valet parking services, the owner must obtain city approvals, licenses, and permits pursuant to city code.
(6)
Parking space design.
a.
Parking spaces shall be designed in accordance with the provisions of chapter 77 unless otherwise provided herein or the planning and zoning director finds that site constraints mean that adjustments to the parking space and parking aisle width are necessary to make efficient use of available parking areas.
b.
For purposes of this district, parking spaces may be eight feet wide by 18 feet in length and parking aisles may be 22 feet in width. Parking aisles may be reduced by up to one foot with a parking space width being increased by six inches.
c.
Up to 25 percent of required on-site parking may be designed and constructed to serve compact vehicles. Compact spaces shall measure seven and one-half feet by 16 feet with a clear backup space of 21 feet.
d.
Tandem parking spaces may be authorized by this section for valet and employee parking only and may be reduced to 16 feet in length where a two foot overhang is provided.
e.
Valet parking spaces may use the standards for compact size parking spaces.
(7)
Parking structures. Parking structures shall comply with the following standards:
a.
Free-standing parking structures shall be limited to four levels of parking.
b.
Parking structures shall provide a lining of retail, office uses, window displays, security, bicycle storage, or combination thereof at the street level along all street frontages.
c.
When the parking structure includes a commercial use lining the building on the street level, the retail or commercial liner shall provide a usable depth of no less than 15 feet. At least 40 percent of the ground floor wall area between two feet and seven feet shall be glazed and shall have a minimum transparency of 70 percent.
d.
When the parking structure includes window displays lining the building on the street level, window displays shall provide a usable depth of no less than three feet. At least 40 percent of the ground floor wall area between two feet and seven feet shall be glazed and shall have a minimum transparency of 70 percent.
e.
All structured parking facilities shall provide a minimum of five electric vehicle charging/parking spaces on the first level of parking and five bicycle racks within the parking structure at the ground level.
f.
Artistic parking garage opening designs. The applicant may propose an artistic design, subject to the recommendation of the planning and zoning director, and approval by the public art program advisory board. Alternative designs for parking garage openings shall be compatible with the purposes and intent of the district.
Parking garage openings shall be designed so that vehicles and garage lighting are not visible from abutting streets.
(8)
Mechanical parking facilities. Mechanical parking facilities may be used to satisfy all, or a portion of parking requirements as follows:
a.
A loading area for convenient transfer of goods and passengers shall be provided for mechanical parking facilities serving ten or more automobiles.
b.
Mechanical parking facilities shall not park more than three levels of cars and no additional vehicle(s) shall park so as to limit access to the lift.
c.
Mechanical parking facilities shall be operated by a valet or attendant at all times such that the parking is accessible to users.
d.
At least one parking lift level shall have a minimum unobstructed clearance height of six feet, six inches. All other levels shall have a minimum unobstructed clearance height of five feet.
e.
A mechanical parking facility installed on existing surface lot shall be covered on top and screened on all sides by a wall extending the entire height of the facility.
f.
Mechanical parking facilities shall provide a manual override to access or remove vehicles from the parking lift in the event of a power outage.
g.
Mechanical parking facilities shall be designed to prevent vehicle liquids and/or debris from spilling onto other vehicles or building surfaces.
(9)
Bicycle parking. Each site shall provide bicycle parking at a ratio of one bicycle space for every five required gross (pre-reductions) automobile parking spaces in racks that comply with the provisions of chapter 77.
(10)
Loading.
a.
New development and redevelopment. Loading spaces shall be provided in accordance with the provisions of chapter 77.
b.
Adaptive reuse. Existing loading spaces shall be retained to the extent that chapter 77 requires such spaces. No new loading spaces are required.
c.
Loading operations. [Reserved.]
(d)
Cross-block connections. Pursuant to the recommendations of "The Mayor's Institute on City Design" (March 20—22, 2019), the city will seek to obtain north-south cross-block connections to facilitate mobility throughout the District and connectivity to Downtown Doral, as seen below:
Ideally cross-block connections would be spaced approximately 400 feet apart.
Potential cross-block connections between Doral Downtown Art District and Downtown Doral.
Analysis of existing conditions and possible locations connecting both areas.
These cumulative paseos or mid-block pathways will expand upon existing pedestrian connections south of 54 th Street. One of the city's strategies for securing these connections is to provide an additional 20 percent parking reduction and a 20 percent FAR bonus, in exchange for private property owners building and maintaining the cross-block connections and shall comply with the guidelines in this section:
(1)
These provisions apply to north-south connections across private property that bisect the existing long blocks fronting on 53 rd , 54 th , 56 th , or 58 th Streets.
(2)
Cross-block connections shall be located at least 300 feet from a north-south avenue.
(3)
Outdoor cross-block connections.
a.
Outdoor cross-block connections shall be at least 12 feet in width (total), which includes: (See following illustration)
1.
At least 18 inches of shy space adjacent to buildings for window watchers and decorative features (i.e., planters, displays, menu boards, and trash receptacles).
2.
At least nine feet of unobstructed throughway for pedestrian travel.
Typical Outdoor Cross-Block Connection Section
b.
Outdoor cross-block connections shall be concrete walkways with medium broom finish, control joints and minimum four inch thickness or other surface with equivalent durability approved by the public works director.
c.
Trash receptacles shall be placed at each cross-street intersection and mid-point of the outdoor cross-block connection and shall not obstruct pedestrian throughways.
d.
Bicycle racks shall be located within a dedicated bicycle parking area at each cross-street intersection and shall not obstruct pedestrian throughways. (This requires additional width.)
e.
For new development or redevelopment, buildings fronting the outdoor cross-block connections shall have a zero-lot line with the following design elements:
1.
Primary entrance facing the outdoor cross-block connections;
2.
At least 40 percent of ground floor wall area between two and ten feet shall be comprised of windows or entries;
3.
At least 25 percent of upper floor(s) wall area between the finished floor and ceilings shall be comprised of windows;
4.
Awnings or canopies shall be provided above the ground floor doors and windows; and
5.
All other urban design and architectural standards shall comply with chapter 86.
f.
Projecting signs shall be erected perpendicular to the outdoor cross-block connections and shall not to extend more than four feet from the building wall, and not be less than seven feet above grade or exceed 15 feet above the finished walkway. All other signs shall comply with chapter 80.
(4)
Enclosed cross-block connections.
a.
Enclosed cross-block connections shall be at least 12 feet in width.
b.
Interior floor to ceiling height shall be at least 12 feet.
c.
Storefront doorway openings shall be nine feet in height.
d.
For new development and redevelopment at least 40 percent of ground floor wall area between two and ten feet shall be comprised of windows or entries.
e.
The flooring shall include, but not limited, to the following:
1.
Large vitrified/ceramic tiles;
2.
Natural stones; or
3.
Other materials of equivalent durability and aesthetic quality as approved by the planning and zoning director.
f.
Projecting signs shall be erected perpendicular to the outdoor cross-block connections, not to extend more than four feet from the building wall, and not be less than seven feet above grade. All other signs shall comply with chapter 80.
g.
Bicycle racks shall be located at dedicated bicycle parking areas at each cross-street entrance and shall not obstruct pedestrian throughways. (This requires additional width.)
h.
Trash receptacles shall be placed at each cross-street entrance and mid-point of the enclosed cross-block connection and shall not obstruct pedestrian throughways.
(e)
Stormwater Management. At least 50 percent of stormwater from new development or redevelopment sites shall be managed through low impact design (LID) techniques pursuant to section 74-881. This requirement does not apply to adaptive reuse projects. Landscape areas for adaptive reuse projects shall be designed to function as LID stormwater management facilities.
(f)
Artistic signs. The applicant may propose an artistic designed sign, subject to the recommendation of the planning and zoning director and approval by the public art program advisory board.
(1)
Purpose. Creative signs are approved signs that do not comply with the provisions of chapter 80, but merit relief from the strict provisions of that chapter due to their exceptional design that achieves the following purposes:
a.
To encourage signs of high-quality materials and workmanship;
b.
To encourage signs of unique design that exhibit a high degree of imagination, inventiveness; and
c.
To make a positive visual contribution to the overall image of the city, while mitigating the impacts of large or unusually designed signs.
(2)
Application. Any property owner or business owner in the district that is not otherwise subject to an approved privately enforced sign program is eligible to apply for a creative sign permit. Such application shall be made on the form(s) prescribed by the city and shall be accompanied by any required fees.
(3)
Review of the Application. A creative sign permit application shall be subject to review and approval by the planning and zoning director where the cumulative area of the proposed sign(s) does not exceed the square footage allocation. For those proposed sign(s) exceeding this allotment, such sign(s) shall be subject to review and approval by the public art program advisory board. The burden is on the applicant to demonstrate substantial compliance with the applicable creative sign design standards as set forth herein.
(4)
Hearings. All hearings of the public art program advisory board shall be open to the public. An advertisement shall be published and courtesy notice shall be mailed to property owners within 500-foot radius of the property at least five days prior to the day of the hearing. The cost of publishing an advertisement and courtesy notices for the hearing shall be paid by the applicant. Any person may appear at the hearing and present information or comment to the advisory board.
(5)
Decision. The decisions of the public art program advisory board shall be based upon the application and the evidence received at the hearing, using the criteria provided herein. The decisions of the planning and zoning director shall be based upon the criteria established herein. The planning and zoning director or advisory board shall issue a written finding of approval or denial of the application within ten calendar days of the final review.
(6)
Appeal. A decision of the public art program advisory board may be appealed to city council by the applicant or an abutting property owner. Such appeal must be filed within ten days of a decision by the advisory board.
(7)
Creative design criteria.
a.
Architectural criteria. The sign(s) should utilize or enhance the architectural elements of the building:
1.
The sign(s) should be placed in a logical location in relation to the overall composition of the building façade;
2.
The sign(s) should be integrated within and not cover any key architectural features and details of the building façade; and
3.
In no event shall a sign be larger than 100 square feet.
b.
Wall Signs. Wall signs should be centered within an area uninterrupted by doors, windows, or architectural details.
c.
Architectural Style. Each sign should be designed to be compatible with and relate to the architectural style of the main building or buildings upon the site where such sign is located.
d.
Color. The color(s) of a sign should be harmonious and complementary to the colors of the building on or near which it is to be located.
e.
Contextual Criteria. The sign(s) should contain at least one of the following elements:
1.
Historic design style.
2.
Positive and creative image reflecting current character of the business.
3.
Inventive representation of the use, name, or products of the business.
f.
Design Quality. The sign(s) should:
1.
Constitute a substantial aesthetic improvement to the site and should have a positive visual impact on the surrounding area;
2.
Be of unique design, and exhibit imagination, inventiveness;
3.
Provide strong graphic character through the imaginative use of graphics, color, texture, quality materials, scale, proportion and form; and
4.
Contribute to the image of the city by conveying a distinctive character that conveys a strong sense of place.
g.
Illumination. To convey a subtle appearance, the use of back-lit or reverse channel letters with halo illumination rather than internally lit signs are encouraged.
h.
Multiple Signs. Where more than one sign is proposed, all signs should have designs that incorporate the following design elements in a compatible and coordinated fashion:
1.
Letter style of copy; components;
2.
Type of construction materials;
3.
Lighting; and
4.
Method used for supporting sign (e.g., wall or ground base).
i.
Neighborhood Impacts. The sign(s) should:
1.
Be located and designed not to create adverse impacts on neighboring uses;
2.
Constitute a substantial aesthetic improvement to the site and should have a positive visual impact on the surrounding area; and
3.
Provide strong graphic character through the imaginative use of graphics, color, texture, quality materials, scale, and proportion.
j.
Sign Materials. The goal of sign design is to maintain attractive and compatible styling so as not to conflict or distract from the architectural character of the area. The choice of materials and the workmanship in the use of the materials should convey both a sense of quality and creativity.
(g)
Murals. Murals are artistic designs etched, tiled, painted, or drawn on a public or private structure.
(1)
Murals may be approved in the district by the public art program advisory board through the process described in paragraph (e) of this section.
(2)
Applicants proposing a mural must submit the following documents to the public art program advisory board for review and approval:
a.
A written consent from the property owner.
b.
If the mural is in a highly visible area, a letter of support from the neighboring property owners is encouraged.
c.
A draft of the artwork.
d.
A description of the media to be used and the surface on which the mural will be applied.
e.
A maintenance plan for who will be maintaining the mural.
(3)
If approved, the applicant is given written permission to move forward with the mural project.
(4)
Noncompliance: Any unapproved mural is considered graffiti and shall be required to be removed.
(h)
Urban design and architectural standards.Chapter 86, Urban Design and Architectural Standards, shall apply in the district, except as follows:
(1)
Adaptive reuse. Where building facades are modified building façades shall incorporate windows and doors covering not less than 40 percent of the street facing walls between two and eight feet above sidewalk grade.
(2)
New development and redevelopment. New buildings may recreate the industrial character of the reuse district.
(i)
Consistency with Adaptive Reuse Study Area Action Plan. All development, redevelopment and adaptive reuse of buildings within the district shall comply with the land use, urban design and transportation and connectivity regulations recommended in "Adaptive Reuse Study Area Action Plan" (amended by final ordinance to restrict no residential, hotels, elderly care or other overnight accommodations for people).
(Ord. No. 2020-07, § 2, 9-22-2020; Ord. No. 2024-04, § 4, 2-14-2024)
The Doral Décor Overlay District (DDOD) is intended to implement the Doral Design District comprehensive plan future land use category and related policies. The district supports the continuation of the area's focus as a center for the production and sales of tile, cabinetry, and other elements of décor for residential and non-residential buildings, while enabling reinvestment for a variety of commercial and light industrial uses that will be compatible with surrounding uses.
(Ord. No. 2021-40, § 2, 3-23-2021)
(a)
Permitted uses. This district authorizes uses permitted in the underlying zoning districts except that residential development may be approved subject to the provisions of section 68-862.
(b)
Prohibited land uses. The following uses are prohibited in the DDOD:
(1)
Educational facilities for grades Pre-K through 12.
(Ord. No. 2021-40, § 2, 3-23-2021)
(a)
Residential uses. Residential uses may be approved by the city council pursuant to the quasi-judicial proceeding procedures in chapter 2, article VI of this Code for parcels zoned IC or I when all of the following conditions are met:
(1)
The parcel(s) are designated DDD on the Future Land Use Map.
(2)
The units are located within a vertically mixed-use development.
(3)
Residential units are not located on the ground floor of any structure.
(4)
Density does not exceed 20 dwelling units per acre for any development. The number of units per projects shall be drawn down from the 925 unit maximum in the DDD Future Land Use Map category.
(5)
The abutting streets meet all the design requirements for public streets as established by the city, including sidewalks, curbs, and gutters, etc.
(6)
Truck loading docks shall not face the street.
(7)
Parking for residential uses is provided in accordance with section 77-139.
(b)
Retail uses. When the underlying zoning districts are IC or I, retail and service uses other than showrooms for décor businesses shall not encompass more than 25,000 square feet of floor area in each building. Décor businesses include sale of stone and tile, plumbing fixtures, lighting fixtures, and furnishings.
(Ord. No. 2021-40, § 2, 3-23-2021)
Unless specifically superseded by this section, all applicable land development and zoning regulations shall apply.
(a)
Uses and development standards. Refer to chapter 74 for special development requirements for the uses permitted in the applicable underlying zoning district. Refer to chapter 53, article II, division 5 for a detailed list of various types of uses. The zoning district development standards of section 53-127 are modified as follows:
(b)
Landscaping and buffers. The provisions of chapter 71 are modified for the district as follows:
(1)
Street trees shall be provided pursuant to section 71-102.
(2)
Buffer yard requirements pursuant to article 5, chapter 71 are not required within the DDOD.
(3)
The minimum number of trees required by section 71-105 are reduced by 50 percent.
(c)
Parking and loading. The parking and loading provisions of chapter 44 and article IV of chapter 77 shall apply unless specifically superseded as follows with the DDOD:
(1)
Parking calculations. Parking spaces shall be provided in accordance with chapter 44 except as reduced by the use of the parking incentives below.
(2)
Parking incentives. Any combination of the following parking incentives may be used provided that the total parking is not less than 70 percent of the number of spaces required by section 77-139.
a.
Shared parking. A shared parking ratio may be applied pursuant to section 77-140.
b.
Electric vehicle (EV) parking. Required parking spaces may be reduced by substituting electric vehicle charging/ parking spaces at a ratio of 2:1 for up to six EV spaces per site. All electric vehicle charging/parking spaces must comply with chapter 77 of this code.
c.
Off-site private parking. Parking required within the district may be provided off-site per chapter 44 and chapter 77. An off-site parking agreement shall be executed in accordance with section 77-140 and this provision may only be used where continuous paved and lighted sidewalks or cross-block connections are provided or exist between the parcels subject to the agreement.
d.
Expansion of showroom. Parking for a showroom of an existing décor business that is expanded into existing warehouse space is reduced by 50 percent, subject to the total limitation in this section.
(d)
Loading. No loading dock shall directly face NW 82 nd Avenue, NW 79 th Avenue, NW 25 th Street, or NW 36 th Street.
(e)
Cross-block connections. Cross-block connections are intended to provide additional bicycle and pedestrian connectivity in the DDOD where block faces are longer than 500 linear feet.
(1)
Applicability. When a parcel is redeveloped within a block with a block face length of more than 500 linear feet, cross-block connections shall be provided.
(2)
Location. Cross-block connections shall be located at least 250 feet from a road intersection. The cross-block connection shall connect to adjacent cross-block connections. Where an adjacent cross-block connection does not exist, the connection shall stub out to adjacent properties.
(3)
Design. Outdoor cross-block connections shall be at least 12 feet in width (total), which includes: (See following illustration)
a.
At least 18 inches of shy space adjacent to buildings for window watchers and decorative features (i.e., planters, displays, menu boards, and trash receptacles).
b.
At least nine feet of unobstructed throughway for pedestrian travel.
Typical Outdoor Cross-Block Connection Section
c.
Outdoor cross-block connections shall be concrete walkways with medium broom finish, control joints and minimum four-inch thickness or other surface with equivalent durability approved by the public works director.
d.
Trash receptacles shall be placed at each cross-street intersection and mid-point of the outdoor cross-block connection and shall not obstruct pedestrian throughways.
e.
Bicycle racks shall be located within a dedicated bicycle parking area and shall not obstruct pedestrian throughways.
f.
For new development or redevelopment, buildings fronting the outdoor cross-block connections shall include the following design elements:
i.
A primary entrance facing the outdoor cross-block connections;
ii.
At least 40 percent of ground floor wall area between two and ten feet shall be comprised of windows or entries;
iii.
At least 25 percent of upper floor(s) wall area between the finished floor and ceilings shall be comprised of windows;
iv.
Awnings or canopies shall be provided above the ground floor doors and windows; and
g.
All other urban design and architectural standards shall comply with chapter 86.
(Ord. No. 2021-40, § 2, 3-23-2021)