RULES AND DEFINITIONS
In the construction of this Chapter the rules and definitions contained in this article shall be observed and applied, except when the context clearly indicates otherwise. For clarity of interpretation of the context, the following definitions of word use shall apply:
(a)
Words used in the present tense shall include the future; and words used in the singular number shall include the plural number, and the plural the singular.
(b)
The word "shall" is mandatory and not discretionary.
(c)
The word "may" is permissive.
(d)
The word "lot" shall include the words "piece," "parcel," and "plots"; the word "building" includes all other structures of every kind regardless of similarity to buildings; and the phrase "used for" shall include the phrases "arranged for", "designed for", "intended for", "maintained for", and "occupied for".
(e)
All "measured distances" shall be to the nearest foot. If a fraction is one-half-foot or more, the full number next above shall be taken.
(f)
Words contained in this Chapter and not defined hereinafter shall assume definitions as prescribed in the Random House Dictionary of the English Language, second edition, unabridged (1987).
"Accessory building or use" means a building or use, which is:
(a)
Conducted or located on the same zoning lot as the principal building or use served, except as may be specifically provided elsewhere in this Chapter;
(b)
Clearly incidental to, subordinate in purpose to, and serves the principal use; and
(c)
Either in the same ownership as the principal use or is clearly operated and maintained solely for the comfort, convenience, necessity, or benefit of the occupants, employees, customers, or visitors of or to the principal use.
"Addition" means the increasing of the cubic contents of a building or the increasing of its ground area.
"Adjacent" means bordering, touching, contiguous or adjoining.
"Adult card, gift, or novelty store" means an establishment having as a significant or substantial portion of its stock in trade items, such as cards, games, articles of clothing and novelties which are distinguished or characterized by an emphasis on depicting or describing specified sexual activities or specified anatomical areas.
"Adult bookstore and/or video store" means an establishment having as a significant or substantial portion of its stock in trade books, magazines, periodicals or other printed matter, and/or photographs, films, motion pictures, video cassettes, slides, tapes, records or other forms of visual or audio representations which are distinguished or characterized by their emphasis on matter depicting, describing or relating to specified sexual activities or specified anatomical areas.
"Adult business use" means the use of property for the operation of a massage parlor and/or bathhouse, massage school, or any use of which a significant or substantial portion involves an activity distinguished or characterized by its emphasis on matters depicting, describing or relating to specified sexual activities or specified anatomical areas, including but not limited to the operation of adult bookstore and/or video store, adult mini-motion picture theater, adult motion picture theater, adult motion picture arcade, adult motel, and adult card, gift, or novelty store. For the purposes of this Chapter an adult business use shall not be deemed a retail business, service business, recreational or social facility, accessory use or general use.
"Adult day center" means a non-residential facility offering supervised care, recreation or training of adults.
"Adult mini-motion picture theater" means an enclosed building or any portion or portions thereof having a capacity from six to fifty (50) persons, where, for any form of consideration (including a coin or token inserted into a coin- or token-operated projector, video screen, or other image producing device), patrons may view films, motion pictures, video cassettes, slides or similar photographic electronic reproductions in which a significant or substantial portion of the total presentation time is devoted to the showing of materials that are distinguished by an emphasis on matter depicting, describing or relating to specified sexual activities or specified anatomical areas.
"Adult motel" means a hotel, motel or similar commercial establishment which:
(a)
Offers accommodations to the public for any form of consideration; provides patrons with closed-circuit television transmissions, films, motion pictures, video cassettes, slides, or other electronic or photographic reproductions which are characterized by the depiction or description of specified sexual activities or specified anatomical areas; and has a sign visible from the public right-of-way which advertises the availability of such transmissions, films, motion pictures, video cassettes, slides, or other photographic reproductions; or
(b)
Offers a sleeping room for rent for a period of time that is less than eight hours; or
(c)
Allows a tenant or occupant of a sleeping room to sub-rent the room for a period of time that is less than eight hours.
"Rent" and "sub-rent," when used in reference to an adult motel, shall mean the act of permitting a sleeping room to be occupied for any form of consideration.
"Adult motion picture arcade" means an establishment in which electronic, electrical, or mechanical still or slide projectors, motion picture projectors, video screens, closed-circuit television transmissions or other image-producing devices operable by insertion of a coin or token or for other consideration are maintained for presentation of images to five or fewer persons at a single time per such device and where the images presented are distinguished or characterized by an emphasis on depicting or describing specified sexual activities or specified anatomical areas.
"Adult motion picture theater" means an enclosed building with a capacity of fifty (50) or more persons where, for any form of consideration, patrons may view closed-circuit television transmissions, films, motion pictures, video cassettes, slides or similar electronic or photographic reproductions in which a significant or substantial portion of the total presentation time is devoted to the showing of materials that are distinguished by an emphasis on matter depicting, describing or relating to specified sexual activities or specified anatomical areas.
"Agriculture" means the use of land for agricultural purposes, including farming, pasturage, agriculture, horticulture, floriculture, viticulture, and the necessary accessory uses for packing, treating or storing the produce; provided, however, that the operation of any such accessory uses shall be secondary to that of the normal agricultural activities.
"Air conditioning condensing units", elements thereof and appurtenances thereto shall be considered structures as defined herein Article XIII. Said air conditioning condensing units, elements thereof and appurtenances thereto shall not be allowed in the required side yards of residential districts.
"Air-inflated structure" means a building where the shape of the structure is maintained by air pressurization of cells or tubes to form a barrel vault over the usable area. Occupants of such a structure do not occupy the pressurized areas used to support the structure.
"Air rights" means the ownership or control of all land, property and that area of space of and above a horizontal plane and the ground surface of land circumscribed by the boundary of the tract, lot or zoning lot.
"Air-supported structure" means a structure wherein the shape of the structure is attained by air pressure and occupants of the structure are within the elevated pressure area.
"Airport" means any area of land or water which is used or intended for use for the landing and taking off of aircraft, and any appurtenant areas which are used or intended for use for airport buildings or other airport facilities or rights-of-way, including all necessary taxiways, aircraft storage and tie-down areas, hangers, and other necessary buildings and open space.
"Alley" means a public right-of-way primarily designed to serve as a secondary access to the side or rear of those properties whose principal frontage is on a street.
"Amenity deck" means an outdoor rooftop space that provides recreational opportunities, comfort, or other conveniences to residents or patrons of a business.
"Animal hospital" means any building or portion thereof designed or used for the care, observation, or treatment of domestic animals.
"Apartment" means a room or suite of rooms in a two-family or multiple-family dwelling, or in a building including a non-residential use, intended or designed for use as a residence by a single family.
"Apartment hotel" means an apartment building under resident supervision which maintains an inner lobby through which all tenants must pass to gain access to the apartments and which may furnish for the exclusive use of its tenants by previous arrangements, not to anyone who may apply, services ordinarily furnished by hotels.
"Assembly group" means, among others, the use of a building or structure, or a portion thereof, for the gathering of persons for purposes such as civic, social or religious functions; recreation, food or drink consumption or awaiting transportation.
"Assisted living establishment" means a home, building, residence or any other place where sleeping accommodations are provided for at least three or more unrelated adults, at least eighty (80) percent of whom are fifty-five (55) years of age or older, and where the following services are provided: community-based residential care for persons who need assistance with activities of daily living, including housing and personal, supportive and intermittent health-related services available twenty-four (24) hours per day, if needed, to meet the scheduled and unscheduled needs of a resident in a way that promotes self-direction and participation in decisions that emphasize independence, autonomy, individuality, privacy, dignity, and the right to a negotiated risk in a residential surrounding. An Assisted living establishment must comply with the State of Illinois Assisted Living and Shared Housing Act (210 ILCS 9/1 et seq.), as amended from time to time. Preference for occupancy of this type of housing shall be given to residents of the City to the extent permitted by State and Federal laws.
"Atrium" or "patio house" means a unique housing design concept that seeks to provide a more private and usable open space on a residential lot by allowing that "yard space" to be provided in the interior of a lot, surrounded by structural elements of the dwelling. (Also referred to as "zero lot line housing")
"Automobile repair"" means the general repair, engine rebuilding or reconditioning of motor vehicles, collision service such as body, frame and fender straightening and repair, and painting of motor vehicles.
"Automobile service center, express" means any building or premises used for the servicing of automobiles where the automobile is not left for repair and the owner/operator of said automobile stays on the premises for the duration of said service.
"Automobile service station" means any building or premises used for dispensing or sale of automobile fuels, lubricating oil or grease, tires, batteries, or minor automobile accessories. Services offered may include the installation of tires, batteries and minor accessories, minor automobile repairs, and greasing or washing of individual automobiles.
"Automobile service station with mini mart/convenience store" means a facility associated with the sale of gasoline products that also offers items typically found in a convenience market or supermarket, and that does not provide service or repair.
"Awning fixed" means a permanent projection from the surface of a principal structure that is roof-like in construction, which may overhang a right-of-way.
"Awning retractable" means a temporary projection from the surface of a principal structure that is roof-like in construction when fully projected and extended from the face of the principal structure, but is made of materials which may be retracted toward and within one-foot of the face of the principal structure.
"Basement" (including any sub-basement) means a story having part, but not more than one-half of its height below the grade of the building. If the floor of such basement is less than two feet inches below such grade, or if the ceiling of such basement is more than five feet above said grade, the basement shall be counted as a story for the purpose of height regulation.
"Bed and breakfasts" means an accommodation of double occupancy rooms existing only in a private residence and managed by that property's owner, with breakfast served in a private dining area (kitchen or dining room) only to those accommodated. In addition, the owner of said establishment shall reside on the premises.
"Block" means a parcel or tract of land bounded by streets, or by a combination of streets, public parks, cemeteries, railroad rights-of-way, bulkheads or shore lines of waterways, the equivalent of the foregoing as a line of demarcation, or the corporate boundary line of the City.
"Brewpubs" means a restaurant featuring beer that is brewed and at least 25 percent of which is consumed on-site.
"Buildable area"" means the area of the lot remaining after the minimum open space and/or yard requirements of this Chapter have been complied with.
"Building" means any structure built, used, designed, or intended for the support, shelter, protection, or enclosure of persons, animals, chattels, or property of any kind, and which is permanently affixed to the land. When a building is divided into separate parts by unpierced fire or party walls extended continuously from the ground through all stories to and above the roof, each part shall be deemed a separate building.
"Building, attached" means any building which is permanently connected to another building, having one or more walls in common with other buildings, other than a private garage.
"Building, detached" means a building surrounded by open space on the same lot as another, separate building.
"Building height" means the vertical measurement taken from grade to the height of the highest roof surface.
"Building permit" means a document issued by the Superintendent of Building Construction which authorizes performance of an activity which is subject to the City Building Code.
"Building, principal" means a building permanently affixed to the land in which is connected the main or principal use of the lot on which said building is situated.
"Building, temporary" means any building not permanently affixed to the land.
"Bulk" means the term used to indicate the size and setbacks of buildings or structures and the location of same with respect to one another, and includes:
(a)
Height and area of buildings.
(b)
Location of exterior walls in relation to lot lines, streets, or other buildings.
(c)
Gross floor area of buildings in relation to lot area (floor area ratio).
(d)
All open spaces allocated to buildings.
(e)
Amount of lot area required for each dwelling unit.
"Business" means the word "business" or the word "commerce" when used in this Chapter means the engaging in the purchase, sale, barter, or exchange of goods, wares, or merchandise, including services; and the maintenance or operation of offices or recreational or amusement enterprises.
"Canopy, Residential" means a pliable or fabric roof-like structure attached to and projecting from a wall and supported in part by vertical supports from the ground, and erected primarily to provide shelter from the weather.
"Carport" means an open-sided, roofed automobile shelter, usually formed by extension of the roof from the side of a building.
"Car wash" means a building, or portion thereof, containing facilities for washing more than one automobile at any one time, using production line methods with a chain conveyer, blower, steam cleaning device, or other mechanical devices; or providing space, water, equipment, or soap for the complete or partial hand-washing of such automobiles, whether by operator or by customer.
"Cellar" means a story having more than one-half of its height below the grade of the building. A cellar is not included in the computing the number of stories for the purpose of height regulation.
"Cemetery" means the land used or intended to be used for the burial of the animal or human dead and dedicated for cemetery purposes, including crematories, mausoleums, crematorium columbaria, chapels and mortuaries if operated in connection with and within the boundaries of such cemetery.
"Certificate, occupancy" means the written approval of the Zoning Administrator certifying that the building or structure, as constructed, conforms to the applicant's approved plans and drawings as authorized through the zoning certificate.
"Certificate, zoning" means the written approval of the Zoning Administrator certifying that the applicant's plans and drawings comply with all applicable provisions of this Chapter. The "zoning certificate" may consist of a standardized independent form bearing the signature of the Zoning Administrator or it may be represented as a part of the building permit application.
"Church" means a building primarily used for religious worship. The word "church" shall include chapel, temple and synagogue.
"City" means the City of Elmhurst, Illinois.
"Clinic, medical or dental" means an organization of specializing physicians or dentists or both, who have their offices in a common building. A clinic shall not include inpatient care.
"Club or lodge, private (non-profit)" means a nonprofit association of persons, who are bona fide members paying dues, which owns, hires, or leases a building, or portion thereof; the use of such premises being restricted to members and their guests. The affairs and management of such "private clubs or lodge" or conducted by a board of directors, executive committee, or similar body chosen by the members. It shall be permissible to serve food, meals and beverages on such premises.
"Cold frame" means a temporary unheated, transparent roofed structure, not higher than three feet, or greater than one hundred (100) square feet, used to protect plans from excessively cold and wet weather. Construction material typically consists of, but is not limited to, a wooden or concrete frame and a plastic or glass cover. A cold frame may not be used for storage.
"Commercial vehicle" means any vehicle, except standard passenger vehicles, operated for the transportation of persons or property in the furtherance of any commercial or industrial enterprise, for-hire or not-for-hire, but not including a vehicle used in a ride-sharing arrangement when being used for that purpose or a recreational vehicle not being used commercially. In any event, any vehicle that is licensed for a gross weight, including vehicle and cargo, of eight thousand and one (8,001) pounds or more, or any vehicle used in a commercial enterprise and containing lettering on the vehicle body advertising a commercial enterprise, shall be considered a commercial vehicle. In addition, a vehicle will be considered to be a commercial one if the same allows for property and/or equipment to be stored and/or transported in a manner which is not completely enclosed within such vehicle.
"Commission" means the City of Elmhurst, Illinois, Zoning and Planning Commission.
"Compact car" means a parking space for compact cars with dimensions smaller than or equal to five feet nine inches in width and fourteen (14) feet eleven (11) inches in length.
"Composting site, commercial" means any use of land for the storage and subsequent sale or distribution of lawn clippings, shrub and tree branches and leaves, and other vegetation and decaying organic matter; such mixture is intended for use in fertilizing and conditioning of land.
"Comprehensive plan" means the official comprehensive plan of the City of Elmhurst, dated January 1990, adopted by the City Council on January 15, 1990, as Ordinance No. O-22-89, as amended from time to time.
"Congregate housing for senior citizens" means multiple-unit housing designed as a planned, coordinated development that caters to the special needs of three or more unrelated adults, at least eighty (80) percent of whom are fifty-five (55) years of age or older who are capable of independent living, yet need certain facilities and services available on site to compensate for declining mobility, perception and cognition, except the provision of ongoing on-site medical care.
"Conservatory" means a greenhouse, usually attached to a dwelling, for growing and displaying plans.
"Continuing care retirement community (CCRC)" means facilities providing a continuum of care for senior citizens, or persons with disabilities, including, but not limited to, the following: independent living, assisted living, supportive services and nursing care (nursing homes). Examples of the services offered include meals, housekeeping and laundry services, transportation, social and recreational programs, assistance with personal care, health care related services, and short-term and long-term nursing care.
"Convalescent, nursing" or "rest home." See nursing home.
"Cultural facility" means a structure or premises devoted primarily to the arts and/or enlightenment.
"Curb level" means the level of the established curb in front of a building measured on top of the curb at the center of such front. (Where no curb elevation has been established, the pavement elevation at the street center line similarly measured, or the mean elevation of the finished lot grade immediately adjacent to a building shall be considered the "curb level.")
"Day care center" means any child care facility receiving more than eight children for daytime care during all or part of a day. The term "day care center" includes facilities commonly called "child care centers", "day nurseries", "nursery schools", "kindergartens", "playgrounds" and "centers or workshops for mentally or physically handicapped with or without stated educational purposes. The term does not include a. kindergartens or nursery schools or other daytime programs operated by public or private elementary school systems or secondary level school units or institutions of higher learning; b. facilities operated in connection with a shopping center or service, or other similar facility, where transient children are cared for temporarily while parents or custodians of the children are occupied on the premises, or are in the immediate vicinity and readily available; c. any type of day care center that is conducted on federal government premises; or d. special activities programs, including athletics, crafts instruction and similar activities conducted on an organized and periodic basis by civic, charitable and governmental organizations.
"Day care home" means any dwelling or family home which, as a home occupation, receives for care for less than twenty-four (24) hours per day, more than three up to a maximum of eight children. The number counted includes the family's natural or adopted children residing in the home and all other persons under the age of twelve. This term does not include facilities which receive only children from a single household.
"Decibel" means a unit of measurement of the intensity (loudness) of sound. Sound level meters which are employed to measure the intensity of sound are calibrated in "decibels."
"Director of Planning and Development" means the City of Elmhurst, Illinois, Director of Planning and Development, or an appointed designee.
"Development" means the division of land into two or more parcels, or the construction, reconstruction, conversion, structured alteration, relocation, or enlargement of any structure, or any mining, landfill, quarrying, or land disturbance, and any use or the extension of use of the land.
"District" means a portion of the corporate area of the city within which certain uniform regulations and requirements, or various combinations thereof, apply under the provisions of this Chapter.
"Drive-in" and/or "drive-through establishment" means an establishment that dispenses products or services to patrons who remain in motor vehicles. If, in addition to the dispensing of products or services for patrons remaining in their motor vehicles or elsewhere on the premises outside any completely enclosed structure, an establishment also allows for the dispensing of such products or services within a completely enclosed structure, it shall be considered a drive-in and/or drive-through establishment.
"Driveway" means a hard-surfaced area on a zoning lot upon which vehicles may be driven or parked, and which may provide access to parking spaces.
"Driveway approach" means the area from street pavement to zoning lot which provides vehicular access to a driveway.
"Dwelling" means a building, or portion thereof designed or used exclusively for residential occupancy, including single-family dwellings, two-family dwellings, multiple-family dwellings and apartment hotels, but not including hotels or motels.
"Dwelling, attached" means one which is joined to another dwelling at one or more sides by party walls.
"Dwelling, detached" means one which is entirely surrounded by open space on the same zoning lot.
"Dwelling, multiple-family" means a building, or portion thereof, containing three or more dwelling units.
"Dwelling, single-family" means a building containing one dwelling unit only.
"Dwelling, two-family" means a building containing two dwelling units.
"Dwelling unit" means any room or group of rooms located within a dwelling and forming a single habitable unit with facilities that are used, or intended to be used for living, sleeping, cooking, and eating.
"Easement" means land or an interest in land which has been designated by lawful agreement between the owner or owners of such land and another person or persons, for a specified use only by such person or persons.
"Efficiency unit" means a dwelling unit consisting of one principal room, together with bathroom, kitchen facilities and closet space.
"Establishment, business" means a place of business carrying on operations, the ownership and management of which are separate and distinct from those of any other place of business located on the same zoning lot.
"Excavation" means any cutting, grading, trenching, digging, stripping, or bustling for any purpose.
"Extended medical care facilities" means those medical facilities designed to accommodate inpatients in need of lengthy recuperative periods requiring nursing attention and periodic medication.
"Family" means an individual or two or more persons related by blood, marriage, or legal adoption living together as a single housekeeping unit within a dwelling unit, including foster children, domestic servants, and not more than two guests or roomers. The word "family" shall include not more than four unrelated persons living together as a single housekeeping unit.
"Fence" means a tangible, man-made barrier constructed of any allowable material erected for the purposes of providing a boundary or as a means of protection, or to prevent uncontrolled access, or for decorative purposes, (such as an ornamental gate or ornamental gates) and/or to screen from viewers in or on adjoining properties and streets, materials stored and operations conducted behind it.
"Flood" means the condition existing when the waters of any watercourse, pond, or depressions temporarily rise to a height above their normal levels and overflow the boundaries within which they are ordinarily contained. It also includes the unusual rapid accumulation or run-off of surface waters.
"Floor area" (for determining floor area ratio) means the sum of the gross horizontal area of the several floors of the building measured from the exterior walls or from the center line of walls separating two buildings. The "floor area" of a building shall include basement floor area, elevator shafts, and stairwells on each floor, floor space used for mechanical equipment (except equipment, open or enclosed located on the roof), penthouses, attic space having headroom of seven feet or more, interior balconies and mezzanines, enclosed porches, and floor area devoted to accessory uses. However, any space devoted to off-street parking or loading shall not be included in "floor area."
The "floor area" of structures devoted to bulk storage of materials including, but not limited to, grain elevators and petroleum storage tanks shall be determined on the basis of height in feet; i.e., ten (10) feet in height shall equal one-floor.
"Floor area" (for determining off-street parking and loading requirements) means the sum of the gross horizontal areas of the several floors of the building, or portion thereof, devoted to such use, including accessory storage areas located within selling or working space such as counters, racks, or closets, and any floor area devoted to retailing activities, to the production or processing of goods or to business or professional offices.
However, "floor area" for the purposes of measurement for off-street parking spaces shall not include: floor area devoted primarily to storage purposes (except as otherwise noted herein); floor area devoted to off-street parking or loading facilities, including aisles, ramps, and maneuvering space; or mechanical or storage floor area other than area devoted to retailing activities, to the production or processing of goods, or to business or professional offices.
"Floor area ratio (FAR)" means the floor area of the building or buildings on a zoning lot divided by the area of such zoning lot, or, in the case of planned developments, by the net site area. The "floor area ratio" requirements—as set forth under each zoning district—shall determine the maximum floor area allowable for the building or buildings (total floor area of both principal and accessory buildings) in direct ratio to the gross area of the zoning lot.
"Frequency" means the number of oscillations per second in a sound wave and is an index of the pitch of the resulting sound.
"Frontage" means the length of all the property fronting on one side of a street between the two nearest intersecting streets, measured along the line of the street, or if dead ended, then all of the property abutting on one side between an intersecting street and the dead end of the street. The frontage of a lot is the shortest line abutting a street.
"Frontage road" means a public or private street, closely paralleling a larger public street, which provides the primary means of vehicles across from adjacent property to the larger street.
"Frontage, zoning lot" means the length of all the property of such zoning lot fronting on a street, measured between side lot lines.
"Garage, private" means an accessory building for the purposes of housing not more than three motor-driven passenger vehicles for the private use of one owner or family.
"Garage, public" means any building, except a private or storage garage, used for equipping, repairing, hiring, selling or storing motor-driven vehicles, but not including areas used exclusively for exhibition or show room purposes.
"Garage, storage" means any building used for housing only of motor-driven vehicles, pursuant to previous arrangements and not to transients, and at which automotive fuels and oils are not dispensed and motor-driven vehicles are not equipped, repaired, hired or sold.
"Golf course" means the public, semi-public or private grounds over which the game of golf is played, including accessory buildings and land uses incidental thereof, and consisting of at least twenty-five (25) acres for each nine-hole "Par 3" course.
"Grade"
(a)
For buildings having walls adjoining one street only, the elevation of the sidewalk at the center of the wall adjoining the streets;
(b)
For buildings having walls adjoining more than one street, the average of the elevations of the sidewalk at the center of all walls adjoining the streets;
(c)
For buildings having no wall adjoining the street, the elevation of the finished surface of the ground at the center of the wall facing the street. The elevation of the finished surface of the ground shall be determined by the City Engineer.
Any wall approximately parallel to and not more than five feet from a street line is to be considered as adjoining the street. Where no sidewalk exists, the grade shall be established by the City Engineer.
"Grade, existing" means the average or mean elevation of a parcel, lot or tract of land prior to commitment of development activity.
"Grade, final" means the average of the finished gravel land at the center of all walls of a building or structure. Where a building wall or other structure is within five feet of a sidewalk, the final grade shall be measured at the sidewalk.
"Greenhouse" means a building, room, or area, usually chiefly of glass, in which the temperature is maintained within a desired range, used for cultivating tender plans or growing plans out of season.
"Group home (community residence)" means a residential building housing service for dependent or developmentally disabled people living with professional staff who function as surrogate parents. The group home houses individuals who are undergoing treatment or rehabilitation and constitutes a single housekeeping unit in which residents share responsibilities, meals and recreation.
"Helipad" means any portion of an area used or intended to be used for the landing and take-off of helicopters and does not include passenger or cargo facilities fueling, service, storage, tie-down, hangars or similar facilities.
"Heliport" means any portion of an area used or intended to be used for the landing and take-up of helicopters which, in addition includes any passenger facilities and cargo facilities maintenance and overhaul, fueling, service, storage, tie-down areas, hangers and similar facilities.
"Helistop" means an portion of an area used or intended to be used for the landing and take-off of helicopters and does not include passenger or cargo facilities, fueling, service, storage, tie-down, hangars or similar facilities.
"Home occupation" means any occupation or profession carried on by a member of the immediate family residing on the premises, in connection with which there is used no sign or display that will indicate from the exterior that the building is being utilized in whole or in part for any purpose other than that of a dwelling; no substantial amount of stock in trade is kept or commodities sold; the home occupation and all related activity, including storage, shall be conducted completely within the dwelling unit; there shall be no structural alterations, or construction features to the dwelling, nor installation of special equipment attached to the walls, floors, or ceilings; the home occupation does not require regular receipt or delivery of merchandise, goods or equipment by any motor vehicle bearing a Division of Motor Vehicles License Class "C" or higher; the home occupation does not result in the simultaneous presence on the zoning lot and the adjoining street of more than three motor vehicles in excess of the number of vehicles attributable to the residential use of the premises; the home occupation does not cause or result in the arrival or entrance at or upon the premises of more than eight persons upon any given day for the purposes of, or in connection with, such occupation, activity or profession (however, for day care homes being conducted as home occupations, up to eight children may be received and cared-for on a given day); the home occupation does not cause or result in persons arriving at or entering the premises before 7:30 a.m. or after 8:00 p.m.; no person is employed other than a member of the immediate family residing on the premises; and no mechanical or electrical equipment is used except such as is permissible for purely domestic or household purposes; and the home occupation does not occupy more than five hundred (500) square feet of gross floor area. A professional person may use his residence for infrequent consultation, emergency treatment, or performance of religious rites, but not for the general practice of his profession. No accessory buildings shall be used for such home occupation. The repair of internal combustion engines, including, but not limited to, automobiles, motorcycles, snowmobiles, jet skis, aircraft motors, boat motors, recreational vehicle motors, chain saws, leaf blowers, generators, and any similar such equipments, shall be prohibited as a home occupation.
"Hospital" means a medical institution devoted primarily to the maintenance and operation of facilities for the diagnosis, treatment, and care of individuals suffering from illness, disease, injury, deformity or other abnormal physical condition.
"Hotel" or "motel" means an establishment which is open to transient guests, in contradistinction to a boarding, rooming or lodging house, and is commonly known as a hotel in the community in which it is located; and which provides customary hotel services such as maid service, the furnishing and laundering of linen, telephone and secretarial or desk service, the use and upkeep of furniture, and bellboy service.
"Incompatible use" means a use or service which is unsuitable for direct association with certain other uses because it is contradictory, incongruous, or discordant.
"Industrial park" (or "business park") means a special or exclusive type of planned industrial area designed and equipped to accommodate a community of industries, providing them with all necessary facilities and services in attractive surroundings among compatible neighbors. Industrial parks may be promoted or sponsored by private developers, community organizations, or government organizations.
"Junk (or salvage) yard" means an open area where waste or scrap materials are bought, sold, exchanged, stored, baled, packed, disassembled, or handled, including, but not limited to, scrap iron and other metals, paper, rags, rubber tires, and bottles. A "junk or salvage yard" includes an auto wrecking yard, but does not include uses established entirely within enclosed buildings.
"Kennel" means any premises or portion thereof on which four or more dogs, cats, or other household domestic animals over four months of age are kept, or on which more than two such animals are maintained, boarded, bred, or cared for, in return for remuneration, or are kept for the purpose of sale.
"Laboratory" means a place devoted to experimental study such as testing and analyzing. Manufacturing of product or products is not to be permitted within this definition.
"Landscape" means an area of land, other than a natural area, on which there has been located lawns, trees, shrubs, plants, water features and other improvements.
"Lodging house" (including boarding and rooming house) means a residential building, or portion thereof—other than a motel, apartment hotel, or hotel—containing lodging rooms which accommodate persons who are not members of the keeper's family. Lodging with or without meals is provided for compensation on a weekly or monthly basis.
"Lodging room" (rooming unit) means a room rented as sleeping and living quarters, but without cooking facilities and with or without an individual bathroom. In a suite of rooms without cooking facilities, each room which provides sleeping accommodations shall be counted as one "lodging room" for the purposes of this Chapter.
"Lot" means a parcel of land which is either a "lot of record" or a "zoning lot".
"Lot area, gross" means the area of a horizontal plane bounded by the front, side, and rear lot lines, but not including any area occupied by the waters of a duly recorded lake or river. (See illustration, Appendix A)
"Lot corner" means a lot situated at the intersection of the two streets, the interior angle of such intersection not exceeding one hundred thirty-five (135) degrees. (See illustration, Appendix A)
"Lot depth" means the horizontal distance between the front lot line and the rear lot line of a lot, measured within the lot boundaries. (See illustration, Appendix A)
"Lot coverage" means the area or portion of the lot occupied by buildings.
"Lot frontage" means the length of the front lot line between side lot lines.
"Lot, interior" means a lot other than a corner or reversed corner lot. See illustration, Appendix A)
"Lot line, front" means the boundary of the lot which is along an existing or dedicated public street or, where no public street exists, is along a public way. On a corner lot, the front lot line shall be the shortest lot line on a public right-of-way (See illustration, Appendix A). Except in the event that a residentially zoned interior lot is consolidated through a plat of consolidation recorded in DuPage County, with an adjacent corner lot in which both lots are in the same zoning district and prior to consolidation the front lot line of both lots share the same public street or public way, the currently designated front lot line will not change.
"Lot line, rear" means that boundary of a lot which is most distant from, and is, or is most nearly, parallel to, the front lot line. (See illustration, Appendix A)
"Lot line, side" means any boundary of a lot which is not a front lot line or a rear lot line. (See illustration, Appendix A)
"Lot of record" means a lot which is part of a subdivision, the plat of which has been recorded in the office of the Recorder of Deeds of DuPage County; or a parcel of land, the deed to which was recorded in the office of said Recorder of Deeds prior to the adoption of this Chapter.
"Lot, reversed corner" means a corner lot the street side lot line of which is substantially a continuation of the front lot line of the first lot to its rear. (See illustration, Appendix A)
"Lot, through" means a lot having a pair of opposite lot lines along two or more less parallel public streets, and which is not a corner lot. On a "through lot" both street lines shall be deemed front lot lines. (See illustration, Appendix A)
"Lot, zoning" means a single tract of land located within a single block, which (at the time of filing for a building permit) is designated by its owner or developer as a tract to be used, developed, or built upon as a unit, under single ownership or control. Therefore, a "zoning lot or lots" may or may not coincide with a lot of record.
"Low tunnel" means a temporary structure typically made of, but not limited to, flexible pipe or other material covered with translucent plastic/material, constructed in a "half-round" or "hoop" shape, for the purpose of protecting and cultivating plants. A low tunnel cannot exceed three feet in height nor one hundred (100) square feet in area. The land that is covered by a low tunnel must be an area designated for crop cultivation where crops are grown in the natural soil profile or in raised beds. A low tunnel may not be used for storage of inorganic materials. A low tunnel is considered more temporary than a greenhouse.
"Marquee" means a roof-like structure of a permanent nature which projects from the wall of a building.
"Massage" or "practice of massage" means any method of applying pressure on or friction against or stroking, kneading, rubbing, tapping, pounding, vibrating or stimulating the external soft parts of the body with the hand or with the aid of any mechanical or electrical apparatus or appliance, with or without such supplementary aids as rubbing alcohol, liniments, antiseptics, oils, powder, creams, lotions, ointments or other similar preparations.
"Massage parlor" and/or "bathhouse" means any massage parlor; Turkish, steam, sauna, or other bathhouse; magnetic healing institute; rom; place; establishment; or institution where massage is given or offered by a masseur or masseuse.
"Massage school" means any establishment providing instruction in the theory, method and practice of massage. Excluded from the definition of massage school shall be any establishment having a course of study in massage therapy approved by a nationally recognized massage therapy association and providing at least five hundred (500) hours of instruction in anatomy, physiology, practice of massage, theory of massage, hydrotherapy and business practices.
"Massage therapist" means a practitioner of massage therapy who holds a degree, diploma or certificate in massage therapy from any school or course of study approved by a nationally recognized massage therapy association or who is certified or otherwise recognized by such an association to practice massage therapy.
"Masseur" or "masseuse" means any person who, for any kind of consideration, engages in the practice of massage. The following persons, however, shall not be considered to be masseurs or masseuses when practicing massage within the scope of their vocation, employment, course of study or volunteer services:
(a)
Physicians, physicians' assistants, surgeons, podiatrists, chiropodists, osteopaths, chiropractors, registered nurses, practical nurses, physical therapists, barbers and cosmetologists licensed, registered or certified to practice in the State of Illinois.
(b)
Athletic trainers for any athletic program of a private or public school, college or university or for any athletic team regularly organized and engaging in competition.
(c)
Massage therapists.
(d)
Any person enrolled in a school or program licensed by the State of Illinois or accredited by a national accrediting association, in medicine, osteopathy, chiropractic, podiatry, nursing, physical therapy, massage therapy, barbering or cosmetology.
(e)
Any counselor, instructor, employee, or volunteer of the Young Men's Christian Association, Young Men's Hebrew Association, Young Women's Christian Association, and Young Women's Hebrew Association.
"Medical cannabis cultivation center" means a facility operated by an organization or business that is registered by the Department of Agriculture to perform necessary activities to provide only registered medical cannabis dispensing organizations with usable medical cannabis.
"Medical cannabis dispensing facility" means a facility operated by an organization or business that is registered by the Department of Financial and Professional Regulation to acquire medical cannabis from a registered cultivation center for the purpose of dispensing cannabis, paraphernalia, or related supplies and educational materials to registered qualifying patients.
"Membrane structure" means an air-inflated, air-supported, cable or frame covered structure as defined by the International Building Code and not otherwise defined as a tent.
"Mezzanine" means an intermediate story between the floor and ceiling of a main story and extending over only part of the main floor.
"Microbreweries" means a brewery for malt beverages that has an annual nationwide production of not less than one hundred (100) barrels or more than fifteen thousand (15,000) barrels per year which may include a tasting room and retail space to sell product to patrons on-site
"Microwineries" and "microdistilleries" means a facility that produces no more than thirty-five thousand (35,000) gallons per year of spirituous beverages on-site and may include a tasting room and retail space to sell product to patrons on-site
"Mobile home" means a structure transportable in one or more sections, which is built on a permanent chassis, and designed to be used with or without a permanent foundation when connected to the required utilities. It does not include recreational vehicles or travel trailers.
"Modified shipping container" means a shipping container that has been modified or repurposed to be used as a food or beverage serving station.
"Motel." See hotel.
"Motor freight terminal" means a building or area in which freight, shipped by motor truck or railroad, is received, assembled, sorted, and/or rerouted for local, intrastate, or interstate shipment by motor truck.
"Motor vehicle" means any self-propelled wheeled conveyance that does not run on rails and that carries passengers, goods and equipment. For the purpose of this Chapter, motor vehicles are separated into two divisions:
(a)
First Division. Those motor vehicles, which are designed for the carrying of not more than ten (10) persons.
(b)
Second Division. Those motor vehicles which are designed for carrying more than ten (10) passengers, those motor vehicles designed or used for living quarters, those motor vehicles which are designed for pulling or carrying freight or cargo, and those motor vehicles of the first division remodeled for use as motor vehicles of the second division.
"Nonalcoholic drinking and entertainment establishment" means an establishment regardless of the age of patrons which serves non-alcoholic beverages and provides on a regular basis, entertainment, including, but not limited to: live entertainment, dancing or music.
"Nonconforming building or structure" means any building or structure, lawful at the time of enactment of this Chapter, which:
(a)
Does not comply with all of the regulations of this Chapter or of any amendment hereto governing bulk for the zoning district in which such building or structure is located; or
(b)
Is designed or intended for a nonconforming use.
"Nonconforming use" means any use of land, buildings, or structures, lawful at the time of the enactment of this Chapter, which does not comply with all of the regulations of this Chapter or of any amendment hereto governing use of the zoning district in which such use is located.
"Noxious matter" means the matter which is capable of causing injury or illness to living organisms, or is capable of causing detrimental effects to the health or the psychological, social, or economic well-being of humans.
"Nursing home" (also known as convalescent center, rest home, convalescent nursing, health care center, long-term care, nursing center, skilled nursing facility, etc.) means a private home, institution, building, or residence serving three or more persons who are not related by blood or marriage to the operator, whether operated for profit or not, which undertakes, through its ownership or management, to provide maintenance, personal care, or nursing for persons who, by reason or illness or physical infirmity, are unable properly to care for themselves. A nursing home must comply with the State of Illinois Nursing Home Care Act, as amended from time to time.
"Obstruction" means any building or structure, or part thereof, which is located so as to intrude upon any open space required by this Code. Trees or shrubs shall not be considered as obstruction, except as may be regulated herein.
"Octave band" is a means of dividing the range of sound frequencies into octaves in order to classify sound according to pitch.
"Odorous matter" means any matter or material that yields an odor which is offensive in any way.
"Off-street parking and loading space" means an open or enclosed area other than a street used for the loading and unloading of goods or materials from motor vehicles and trailers.
"Open space" means an area that is installed to provide light and air, and is designed for either environmental or scenic, or recreational purposes. Open space may include, but is not limited to, lawns, decorative planting, walkways, active and passive recreation areas, playgrounds, fountains, swimming pools, wooded areas, and water courses. Open space shall not be deemed to include driveways, parking lots or any other surfaces designed or intended for vehicle travel.
"Parking space" means a temporary storage area, either indoor or outdoor, used, or intended to be used, for the parking of a motor vehicle, provided with, but not including a driveway or other means of access.
"Particulate matter" means dust, smoke, or any other form of airborne pollution in the form of minute separate particles.
"Passenger vehicle" means a privately-owned, non-commercial motor vehicles of the first division (State motor vehicle act), that is, designed for carrying not more than ten (10) persons.
"Patio house" means a unique housing design concept that seeks to provide a more private and usable open space on a residential lot by allowing that "yard space" to be provided in the interior of a lot, surrounded by structural elements of the dwelling. (Also referred to as "zero lot line housing")
"Pawn shops" means an establishment wherein the business of a pawnbroker is conducted. A pawnbroker shall be any person who lends or advances money or other things for profit on the pledge and possession of personal property, or other valuable things, other than securities or written or printed evidences of indebtedness; or, who deals in the purchase of personal property or other valuable things on condition of selling the same back to the seller at a stipulated price. Notwithstanding anything contained in this Section to the contrary, a pawnbroker shall not include nor permit the pawning of firearms. A pawnshop shall not be deemed a retail sales establishment except for the purposes of determining off-street parking and transitional screening and barrier requirements.
"Performance standard" means a criterion to control noise, odor, smoke, toxic or noxious matter, vibration, fire and explosive hazards, or glare or heat generated by or inherent in the uses of land or buildings.
"Philanthropic institution" means a structure and/or facilities devoted to the betterment and/or improvement of community life, including but not limited to such institutions as the YMCA, YWCA, boys clubs, and educational or charitable foundations.
"Physical fitness facility/health clubs" means a facility designed for the primary purpose of physical fitness and/or weight reduction wherein members and non-members use equipment or space for the purpose of physical exercise. Such facilities include, but are not limited to, exercise programs, free weights, weight resistance machines, handball, tennis and racquet courts, swimming pools, batting cages, gymnasiums, saunas, whirlpools and locker rooms. The activities shall be conducted entirely within an enclosed building. Physical fitness facilities/health clubs shall not be construed to include municipal or privately owned recreation buildings.
"Planned development" means a parcel of land or contiguous parcels of land of a size sufficient to create its own environment, controlled by a single landowner or by a group of landowners in common agreement as to control, to be developed as a single entity, the environment of which is compatible with adjacent parcels, and the intent of the zoning districts or districts in which it is located; the developer or developers may be granted relief from specific land-use regulations and design standards and may be awarded certain premiums in return for assurances of any overall quality of development, including any specific features which will be of exceptional benefit to the community as a whole.
"Pre-school" means a facility for children who have attained the age of three years which is either:
(a)
Recognized by the State Board of Education; or
(b)
Registered with the State Board of Education and recognized or accredited by a recognized national or multi-state educational organization or association which regularly recognizes or accredits schools; or
(c)
Licensed by the Department of Children and Family Services of the State of Illinois.
"Property lines" means the lines bounding a zoning lot, as defined herein.
"Public use" means a building, structure or parcel of land owned and operated for the benefit of the people at large.
"Public way" means any sidewalk, street, alley, highway, or other public thoroughfare.
"Quarry" means a place where rock, ore, stone, marble and similar materials are excavated for sale or for off-site use.
"Recycling center" means a use of land and/or structures for the receipt, sorting, packaging and forwarding of re-usable waste products, including but not limited to glass, aluminum, bimetal cans, newspapers, plastic and motor oil.
"Recreational center" means a building or use of land operated with or without membership requirements, for entertainment, sport, delivered directly to the consumer; including but not limited to, skating rink, bowling alley, hall, racquet club, swim club, indoor or outdoor golf center, miniature golf course, amusement arcade, or indoor archery, pistol or rifle range.
"Recreational vehicle" means any camping trailer, motor home, mini motor home, travel trailer, truck camper or van camper and any towed recreational equipment such as boats, snowmobiles and motorcycles, including the trailers for same, used privately for recreational purposes and not used commercially. Recreational vehicle more specifically includes:
(a)
Camper Trailer (Pop Up). A recreational trailer not used commercially, constructed with partial side walls which fold for towing and unfold to provide temporary living quarters for recreational camping or travel use and are of a size or weight not requiring an over-dimension permit when towed on a highway.
(b)
House Trailer. A recreational trailer or semitrailer equipped and used for living quarters for human habitation (temporarily or permanently) rather than for the transportation of freight, goods, wares and merchandise.
(c)
Motor Home, Mini Motor Home or Van Camper. Any self-contained motor vehicle, not used commercially, designed or permanently converted to provide living quarters for recreational, camping or travel use, with direct walk-through access to the living quarters from the driver's seat.
(d)
Travel Trailer. A recreational trailer not used commercially, designed to provide living quarters for recreational camping, or travel use, and of a size or weight not requiring an over-dimension permit when towed on a highway.
(e)
Truck Camper. A recreational truck, not used commercially, when equipped with a portable unit designed to be loaded on to the bed which is construed to provide temporary living quarters for recreational, travel or camping use.
"Religious assembly" means a building primarily used for religious worship. It shall include a church, chapel, temple, mosque, and synagogue.
"Research activities" means the conduct of research, development, and testing in various fields of science, such as but not limited to chemistry, pharmacy, medicine, electricity, transportation and engineering.
"Reservoir parking facilities" means those off-street parking space allocated to automobiles awaiting entrance to particular establishment.
"Respite home" means a guest house for senior citizens intended for short term care, offering twenty four (24) hour services in a home setting for a period of time not to exceed thirty (30) days.
"Restaurant" means a business establishment within which food is offered for sale and consumption only within the structure on the premises.
"Restaurant, drive-in." See drive-in establishment.
"Restaurant, take-out." See drive-in establishment.
"Right-of-way" means a strip of land taken or dedicated for use as a public way. In addition to the roadway, it normally incorporates the curbs, lawn strips, sidewalks, lighting and drainage facilities.
"Ringlemann chart" means one which is described in the U.S. Bureau of Mines Information Circular 8333, and on which are illustrated graduated shades of gray for use in estimating the light-obscuring capability of smoke density.
"Ringlemann number" means the number of the area on the Ringlemann chart that coincides most nearly with the visual density of emission or the light-obscuring capacity of the smoke.
"Satellite receiving antenna" means an accessory structure whose purpose is to receive communication or other signals from orbiting satellites and other extraterrestrial sources, and which consist of three main components: the antenna itself (often called a dish); a low-noise amplifier (LNA) and a receiver. The antenna and the LNA are located outdoors and are connected by coaxial cable to the receiver which is located indoors.
"Senior citizen" means a person at least fifty-five (55) years of age.
"Senior citizen home sharing facility" means a residential dwelling unit or units maintained as a single housekeeping unit occupied primarily by persons sixty-two (62) years of age or older wherein the total number of occupants exceeds that which would otherwise be permitted by the definition of "family" [in] of this Article. The maximum number of occupants shall not exceed fourteen (14) persons or two persons per bedroom, whichever is less, including resident employees. Such a facility shall not include care facilities such as nursing homes, sheltered care facilities, or similar facilities which are defined and regulated under the Nursing Home Care Reform Act of 1979 (Ill. Rev. Stat. 1985, Ch. 111 1/2, Section 4151-101 et seq.)
"Senior citizen housing (independent living facility) detached," means attached or multiple-unit dwelling units designed for and intended to be used exclusively for housing of persons sixty-two (62) years of age or older or families of two or more persons related by blood, marriage or operation of law, one member of which is sixty-two (62) years of age or older. Preference for occupancy of this type of housing shall be given to residents of the City to the extent permitted by State and Federal laws.
"Setback" means the required minimum horizontal distance between a property line, or other line, and a building measured to the exterior face of the building.
"Sheltered care facility" means a structure or part of a structure used for the temporary sheltering of abused individuals and/or the homeless. Qualified supervision and care shall be provided for those housed in the facility.
"Shopping center" means a complex of three or more business and commercial establishments, the whole planned, and developed and managed as a unit, sharing common parking facilities.
"Sidewalk" means that portion of the road right-of-way which is paved and intended for the use of pedestrian traffic.
"Sign" means an identification, description, illustration, or device illuminated or not illuminated, which is visible from any public place or is located on private property and exposed to the public, and which directs attention to a product, service, place, activity, person, institution, business or solicitation, including any permanently installed or situated merchandise or any emblem, painting, banner, pennant, placecard, or temporary sign designed to advertise, identify or convey information, and which is subject to regulation by the sign ordinance. For purposes of removal, signs shall also include sign structures.
"Sight triangle" means a triangular area, described by the edge of pavement lines of two intersection streets and a line connecting said edge of pavement lines, in which the height of structures and landscaping regulation is limited to a maximum of three feet above grade in order to promote visibility at street intersections. Any leg of such triangle lying along any street in a residential district or any street forming part of an intersection that is not controlled by a traffic signal or a stop sign shall be a minimum of forty-five (45) feet in length.
"Specified anatomical areas" means:
(a)
Less than completely or opaquely covered human genitals, pubic region, buttock, anus or female breast below a point immediately above the top of the areola; and
(b)
Human male genitals in a discernibly turgid state, even if completely or opaquely covered.
"Specified sexual activities" means:
(a)
Human genitals in a state of sexual stimulation or arousal;
(b)
Acts of human masturbation, sexual intercourse, fellatio or sodomy;
(c)
Fondling, kissing or other erotic touching of specified anatomical areas;
(d)
Flagellation or torture in the context of a sexual relationship;
(e)
Masochism, erotic or sexually oriented torture, beating or the infliction of pain;
(f)
Erotic touching, fondling or other such contact with an animal by a human being; or
(g)
Human excretion, urination, menstruation or vaginal or anal irrigation as part of or in connection with any of the activities set forth in subsections (a)—(f).
"Steeple" means an unoccupied, ornamental tower built on or above the roof of a building.
"Structure, completely enclosed" means a building enclosed by a permanent roof and solid exterior walls with pre-planned constructed windows, doors and other appropriate openings.
"Story" means that portion of a building included between the upper surface of any floor and the upper surface of the floor next above it, or if there be no floor above it, then the space between such floor and the ceiling next above it, except that the topmost story shall be that portion of a building included between the upper surface of the topmost floor and the ceiling or roof above.
"Half story" means that portion of a building the rooms of which are partially cut off by a gable, hip or gambrel roof.
"Street" means a public or private right-of-way which affords a primary means of vehicular access to abutting property, whether designated as a street, avenue, highway, road, boulevard, lane, throughway, or however otherwise designated, but does not include driveways to buildings.
"Structure" means a combination of material to form a construction that is safe and stable; including among others, buildings, stadiums, reviewing stands, platforms, stages, observation towers, radios towers, water tanks and towers, trestles, piers, wharves, sheds, coal bins, shelters, fences and display signs; the term structure shall be constructed as if followed by the words "or part thereof."
"Structural alterations" means any change in the supporting members of a building, such as bearing walls or partitions, columns, beams or girders, or any substantial change in the roof or in the exterior walls.
"Temporary structures" means the following words and terms shall have the meaning shown herein:
• Air-Inflated Structure. A building where the shape of the structure is maintained by air pressurization of cells or tubes to form a barrel vault over the usable area. Occupants of such a structure do not occupy the pressurized areas used to support the structure.
• Air-Supported Structure. A structure wherein the shape of the structure is attained by air pressure and occupants of the structure are within the elevated pressure area.
• Membrane Structure. An air-inflated, air-supported, cable or frame-covered structure as defined by the International Building Code and not otherwise defined as a tent.
• Tent. A structure, enclosure or shelter, with or without side-walls or drops, constructed of fabric or pliable material supported by any manner except by air or the contents that it protects.
"Tent" means a structure, enclosure or shelter, with or without side-walls or drops, constructed of fabric or pliable material supported by any manner except by air or the contents that it protects.
"Three-component measuring system" means a complement of instruments or seismograph which can record, simultaneously, vibration vectors in three mutually-perpendicular directions.
"Threshold limit value (TLV)" means the maximum allowable concentration permitted an industrial worker for eight hours exposure per day, five days a week, as adopted by the American Conference of Governmental Industrial Hygienists.
"Tower and antenna, radio or television" means a structure attached to a building or a detached structure affixed to the ground, used in the transmission, relaying or receiving of electromagnetic waves or signals.
"Townhouse." See dwelling, attached.
"Toxic material" means any substance (liquid, solid or gaseous) which by reason of an inherent deleterious property when emitted in any amount, is injurious to plants, animals, or human beings.
"Trailer" means a movable or portable unit to be towed on its own chassis and which is used for recreational purposes, and is not designed for permanent or long-term residence.
"Use of property" means the purpose or activity for which the land or building thereon is designed, arranged, or intended, or for which it is occupied or maintained.
"Use, conditional" means a use-either public or private-which, because of its unique characteristics, cannot be properly classified as a permitted use in a particular district or districts. After due consideration, in each case, of the impact of such use upon neighboring land and of the public need for the particular use at the particular location, such "conditional use" may or may not be granted, subject to the terms of this Chapter.
"Use, permitted" means a use which may be lawfully established in a particular district or districts provided it conforms with all requirements, regulations, and standards of such district.
"Use, principal" means the main use of land or buildings as distinguished from a subordinate or accessory use. A "principal use" may be "permitted" or "conditional."
"Variation" means a relaxation of the terms of this Chapter where such variation will not be contrary to the public interest and where a literal enforcement of this Chapter would result in unnecessary and undue hardship.
"Vibration" means the periodic displacement, measured in inches, of earth.
"Vibration frequency" means the number of oscillations per second of a vibration.
"Warehouse" means a building or structure or part thereof, used principally for the storage of goods and merchandise.
"Yard" means an open space on the same zoning lot with a building or structure, unoccupied and unobstructed from its lowest level to the sky, except as otherwise permitted in subsection 22.46(c). A "yard" extends along a lot line, and to a depth or width specified in the yard requirements for the zoning district in which such zoning lot is located.
"Yard, corner side" means a side yard which adjoins a public street.
"Yard, front" means a yard extending along the full length of the front lot line between the side lot lines.
"Yard, interior side" means a side yard which is located immediately adjacent to another zoning lot or to an alley separating such side yard from another zoning lot.
"Yard, rear" means a yard extending along the full length of the rear lot line between the side lot lines.
"Yard, side" means a yard extending along a side lot line from the front yard to the rear yard.
"Yard, transitional" means that yard which must be provided on a zoning lot in a business district which adjoins a zoning lot in a residence district, or that yard which must be provided on a zoning lot in an industrial district which adjoins a zoning lot in either a residence or business district.
"Zoning Administrator" means hat person designated as Zoning Administrator by the City Manager and such deputies as may be appointed by the City Manager. The Zoning Administrator is hereby authorized and it is his/her duty to administer and enforce the provisions of this Chapter, making such determinations, interpretations, and other descriptive material in connection with applications/permits as are necessary for him/her to judge compliance with this Chapter.
"Zoning and Planning Commission" means the Zoning and Planning Commission of the City of Elmhurst, Illinois.
"Zoning Board of Appeals" means the Zoning Board of Appeals of the City of Elmhurst, Illinois.*
* The Zoning Board of Appeals and the Zoning and Planning Commission are the same body acting in two capacities.
(Ord. No. ZO-04-2015, § 4, 4-20-2015; Ord. No. ZO-07-2015, § 2, 8-3-2015; Ord. No. ZO-08-2019, § 5, 2-19-2019; Ord. No. ZO-09-2019, § 5, 2-19-2019; Ord. No. ZO-16-2019, § 3, 5-6-19; Ord. No. ZO-18-2019, § 5, 5-20-19; Ord. No. ZO-22-2020, § 2, 9-8-2020; Ord. No. MCO-08-2022, § 6, 7-5-2022)
APPENDIX A—ILLUSTRATIONS
The illustrations contained in this appendix are provided solely to clarify the intent of textual provisions and are not to be considered a part of this Chapter for purposes of construction or interpretation or otherwise.
Definitions:
"Corner lot" is a lot abutting on two streets at their intersection, where the angle of the intersection is not more than one hundred thirty-five (135) degrees.
"Reversed corner lot" is a corner lot where the side street side lot line is substantially a continuation of the front lot line of the first lot to its rear.
"Interior lot" is a lot other than a corner or reversed corner lot.
"Through lot" is a lot having a pair of opposite lot lines along two more or less parallel public streets. On a through lot, both street lines shall be deemed from lot lines.
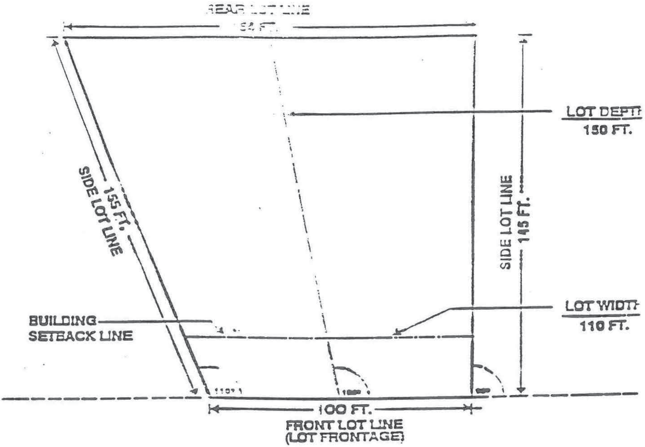
FIGURE 2—LOT WIDTH AND LOT DEPTH EXPLAINED
Lot Frontage means the length of the front lot line between side lot lines.
Depth of a lot shall be considered to be the distance between the mid-points of straight lines connecting the end points of the side lot lines at the front and the rear.
Width of a lot shall be considered to be the distance between straight lines connecting the front and rear lot lines at each side of the lot measured at the building setback line.
The measurement of lot frontage shall be considered to be the distance between the side lot lines at the street right-of-way. If the side lot lines do not intersect the street right-of-way, the lot frontage shall be only that portion of the lot line abutting the street that coincides with the street right-of-way. For an arched lot line, the lot frontage shall be the internal chord dimension.
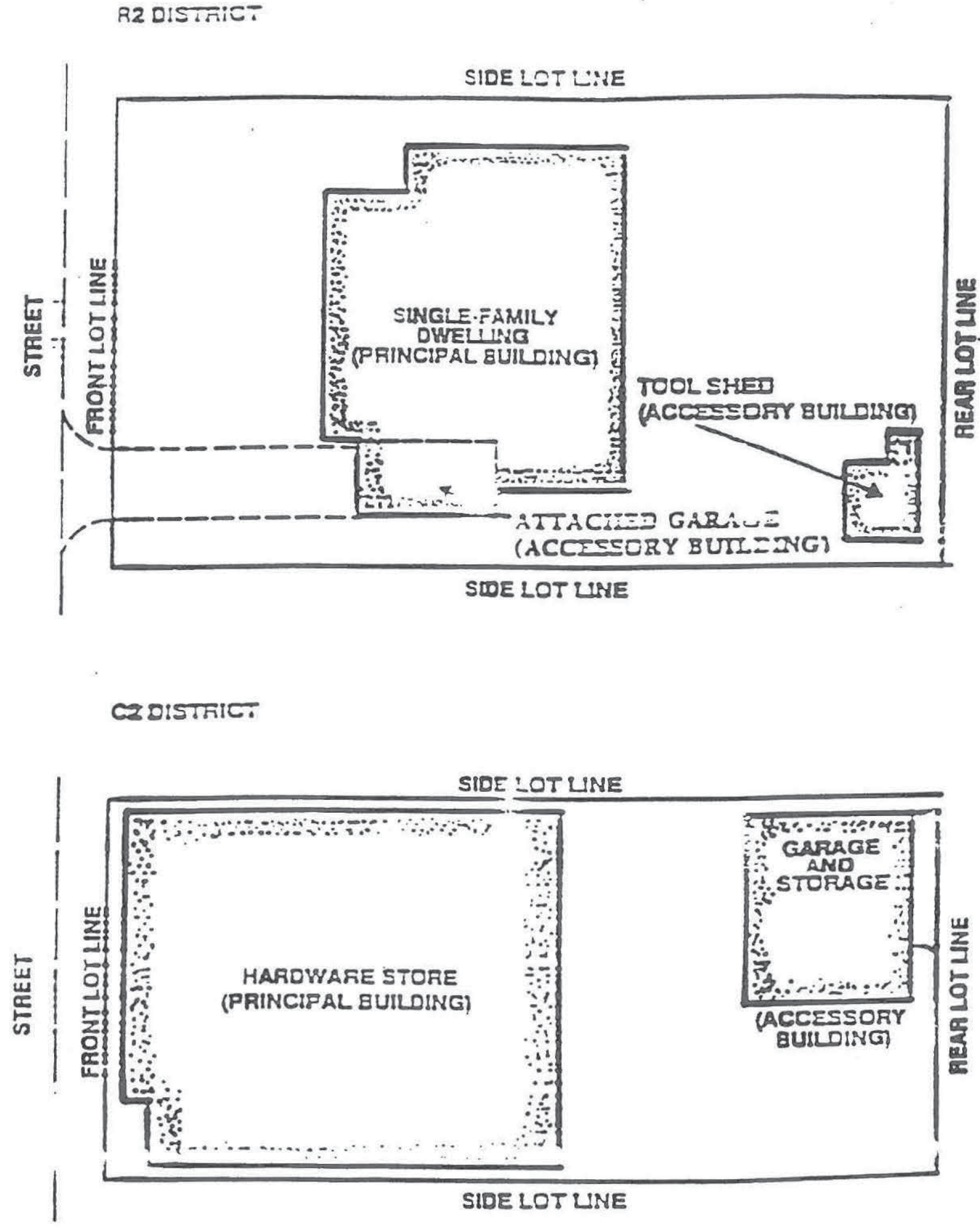
FIGURE 4—BUILDINGS (PRINCIPAL AND ACCESSORY)
To determine maximum allowable total floor area on a lot: Multiply F.A.R. x Lot Area = Maximum Total Floor Area
FIGURE 6—FLOOR AREA MEASUREMENT
RULES AND DEFINITIONS
In the construction of this Chapter the rules and definitions contained in this article shall be observed and applied, except when the context clearly indicates otherwise. For clarity of interpretation of the context, the following definitions of word use shall apply:
(a)
Words used in the present tense shall include the future; and words used in the singular number shall include the plural number, and the plural the singular.
(b)
The word "shall" is mandatory and not discretionary.
(c)
The word "may" is permissive.
(d)
The word "lot" shall include the words "piece," "parcel," and "plots"; the word "building" includes all other structures of every kind regardless of similarity to buildings; and the phrase "used for" shall include the phrases "arranged for", "designed for", "intended for", "maintained for", and "occupied for".
(e)
All "measured distances" shall be to the nearest foot. If a fraction is one-half-foot or more, the full number next above shall be taken.
(f)
Words contained in this Chapter and not defined hereinafter shall assume definitions as prescribed in the Random House Dictionary of the English Language, second edition, unabridged (1987).
"Accessory building or use" means a building or use, which is:
(a)
Conducted or located on the same zoning lot as the principal building or use served, except as may be specifically provided elsewhere in this Chapter;
(b)
Clearly incidental to, subordinate in purpose to, and serves the principal use; and
(c)
Either in the same ownership as the principal use or is clearly operated and maintained solely for the comfort, convenience, necessity, or benefit of the occupants, employees, customers, or visitors of or to the principal use.
"Addition" means the increasing of the cubic contents of a building or the increasing of its ground area.
"Adjacent" means bordering, touching, contiguous or adjoining.
"Adult card, gift, or novelty store" means an establishment having as a significant or substantial portion of its stock in trade items, such as cards, games, articles of clothing and novelties which are distinguished or characterized by an emphasis on depicting or describing specified sexual activities or specified anatomical areas.
"Adult bookstore and/or video store" means an establishment having as a significant or substantial portion of its stock in trade books, magazines, periodicals or other printed matter, and/or photographs, films, motion pictures, video cassettes, slides, tapes, records or other forms of visual or audio representations which are distinguished or characterized by their emphasis on matter depicting, describing or relating to specified sexual activities or specified anatomical areas.
"Adult business use" means the use of property for the operation of a massage parlor and/or bathhouse, massage school, or any use of which a significant or substantial portion involves an activity distinguished or characterized by its emphasis on matters depicting, describing or relating to specified sexual activities or specified anatomical areas, including but not limited to the operation of adult bookstore and/or video store, adult mini-motion picture theater, adult motion picture theater, adult motion picture arcade, adult motel, and adult card, gift, or novelty store. For the purposes of this Chapter an adult business use shall not be deemed a retail business, service business, recreational or social facility, accessory use or general use.
"Adult day center" means a non-residential facility offering supervised care, recreation or training of adults.
"Adult mini-motion picture theater" means an enclosed building or any portion or portions thereof having a capacity from six to fifty (50) persons, where, for any form of consideration (including a coin or token inserted into a coin- or token-operated projector, video screen, or other image producing device), patrons may view films, motion pictures, video cassettes, slides or similar photographic electronic reproductions in which a significant or substantial portion of the total presentation time is devoted to the showing of materials that are distinguished by an emphasis on matter depicting, describing or relating to specified sexual activities or specified anatomical areas.
"Adult motel" means a hotel, motel or similar commercial establishment which:
(a)
Offers accommodations to the public for any form of consideration; provides patrons with closed-circuit television transmissions, films, motion pictures, video cassettes, slides, or other electronic or photographic reproductions which are characterized by the depiction or description of specified sexual activities or specified anatomical areas; and has a sign visible from the public right-of-way which advertises the availability of such transmissions, films, motion pictures, video cassettes, slides, or other photographic reproductions; or
(b)
Offers a sleeping room for rent for a period of time that is less than eight hours; or
(c)
Allows a tenant or occupant of a sleeping room to sub-rent the room for a period of time that is less than eight hours.
"Rent" and "sub-rent," when used in reference to an adult motel, shall mean the act of permitting a sleeping room to be occupied for any form of consideration.
"Adult motion picture arcade" means an establishment in which electronic, electrical, or mechanical still or slide projectors, motion picture projectors, video screens, closed-circuit television transmissions or other image-producing devices operable by insertion of a coin or token or for other consideration are maintained for presentation of images to five or fewer persons at a single time per such device and where the images presented are distinguished or characterized by an emphasis on depicting or describing specified sexual activities or specified anatomical areas.
"Adult motion picture theater" means an enclosed building with a capacity of fifty (50) or more persons where, for any form of consideration, patrons may view closed-circuit television transmissions, films, motion pictures, video cassettes, slides or similar electronic or photographic reproductions in which a significant or substantial portion of the total presentation time is devoted to the showing of materials that are distinguished by an emphasis on matter depicting, describing or relating to specified sexual activities or specified anatomical areas.
"Agriculture" means the use of land for agricultural purposes, including farming, pasturage, agriculture, horticulture, floriculture, viticulture, and the necessary accessory uses for packing, treating or storing the produce; provided, however, that the operation of any such accessory uses shall be secondary to that of the normal agricultural activities.
"Air conditioning condensing units", elements thereof and appurtenances thereto shall be considered structures as defined herein Article XIII. Said air conditioning condensing units, elements thereof and appurtenances thereto shall not be allowed in the required side yards of residential districts.
"Air-inflated structure" means a building where the shape of the structure is maintained by air pressurization of cells or tubes to form a barrel vault over the usable area. Occupants of such a structure do not occupy the pressurized areas used to support the structure.
"Air rights" means the ownership or control of all land, property and that area of space of and above a horizontal plane and the ground surface of land circumscribed by the boundary of the tract, lot or zoning lot.
"Air-supported structure" means a structure wherein the shape of the structure is attained by air pressure and occupants of the structure are within the elevated pressure area.
"Airport" means any area of land or water which is used or intended for use for the landing and taking off of aircraft, and any appurtenant areas which are used or intended for use for airport buildings or other airport facilities or rights-of-way, including all necessary taxiways, aircraft storage and tie-down areas, hangers, and other necessary buildings and open space.
"Alley" means a public right-of-way primarily designed to serve as a secondary access to the side or rear of those properties whose principal frontage is on a street.
"Amenity deck" means an outdoor rooftop space that provides recreational opportunities, comfort, or other conveniences to residents or patrons of a business.
"Animal hospital" means any building or portion thereof designed or used for the care, observation, or treatment of domestic animals.
"Apartment" means a room or suite of rooms in a two-family or multiple-family dwelling, or in a building including a non-residential use, intended or designed for use as a residence by a single family.
"Apartment hotel" means an apartment building under resident supervision which maintains an inner lobby through which all tenants must pass to gain access to the apartments and which may furnish for the exclusive use of its tenants by previous arrangements, not to anyone who may apply, services ordinarily furnished by hotels.
"Assembly group" means, among others, the use of a building or structure, or a portion thereof, for the gathering of persons for purposes such as civic, social or religious functions; recreation, food or drink consumption or awaiting transportation.
"Assisted living establishment" means a home, building, residence or any other place where sleeping accommodations are provided for at least three or more unrelated adults, at least eighty (80) percent of whom are fifty-five (55) years of age or older, and where the following services are provided: community-based residential care for persons who need assistance with activities of daily living, including housing and personal, supportive and intermittent health-related services available twenty-four (24) hours per day, if needed, to meet the scheduled and unscheduled needs of a resident in a way that promotes self-direction and participation in decisions that emphasize independence, autonomy, individuality, privacy, dignity, and the right to a negotiated risk in a residential surrounding. An Assisted living establishment must comply with the State of Illinois Assisted Living and Shared Housing Act (210 ILCS 9/1 et seq.), as amended from time to time. Preference for occupancy of this type of housing shall be given to residents of the City to the extent permitted by State and Federal laws.
"Atrium" or "patio house" means a unique housing design concept that seeks to provide a more private and usable open space on a residential lot by allowing that "yard space" to be provided in the interior of a lot, surrounded by structural elements of the dwelling. (Also referred to as "zero lot line housing")
"Automobile repair"" means the general repair, engine rebuilding or reconditioning of motor vehicles, collision service such as body, frame and fender straightening and repair, and painting of motor vehicles.
"Automobile service center, express" means any building or premises used for the servicing of automobiles where the automobile is not left for repair and the owner/operator of said automobile stays on the premises for the duration of said service.
"Automobile service station" means any building or premises used for dispensing or sale of automobile fuels, lubricating oil or grease, tires, batteries, or minor automobile accessories. Services offered may include the installation of tires, batteries and minor accessories, minor automobile repairs, and greasing or washing of individual automobiles.
"Automobile service station with mini mart/convenience store" means a facility associated with the sale of gasoline products that also offers items typically found in a convenience market or supermarket, and that does not provide service or repair.
"Awning fixed" means a permanent projection from the surface of a principal structure that is roof-like in construction, which may overhang a right-of-way.
"Awning retractable" means a temporary projection from the surface of a principal structure that is roof-like in construction when fully projected and extended from the face of the principal structure, but is made of materials which may be retracted toward and within one-foot of the face of the principal structure.
"Basement" (including any sub-basement) means a story having part, but not more than one-half of its height below the grade of the building. If the floor of such basement is less than two feet inches below such grade, or if the ceiling of such basement is more than five feet above said grade, the basement shall be counted as a story for the purpose of height regulation.
"Bed and breakfasts" means an accommodation of double occupancy rooms existing only in a private residence and managed by that property's owner, with breakfast served in a private dining area (kitchen or dining room) only to those accommodated. In addition, the owner of said establishment shall reside on the premises.
"Block" means a parcel or tract of land bounded by streets, or by a combination of streets, public parks, cemeteries, railroad rights-of-way, bulkheads or shore lines of waterways, the equivalent of the foregoing as a line of demarcation, or the corporate boundary line of the City.
"Brewpubs" means a restaurant featuring beer that is brewed and at least 25 percent of which is consumed on-site.
"Buildable area"" means the area of the lot remaining after the minimum open space and/or yard requirements of this Chapter have been complied with.
"Building" means any structure built, used, designed, or intended for the support, shelter, protection, or enclosure of persons, animals, chattels, or property of any kind, and which is permanently affixed to the land. When a building is divided into separate parts by unpierced fire or party walls extended continuously from the ground through all stories to and above the roof, each part shall be deemed a separate building.
"Building, attached" means any building which is permanently connected to another building, having one or more walls in common with other buildings, other than a private garage.
"Building, detached" means a building surrounded by open space on the same lot as another, separate building.
"Building height" means the vertical measurement taken from grade to the height of the highest roof surface.
"Building permit" means a document issued by the Superintendent of Building Construction which authorizes performance of an activity which is subject to the City Building Code.
"Building, principal" means a building permanently affixed to the land in which is connected the main or principal use of the lot on which said building is situated.
"Building, temporary" means any building not permanently affixed to the land.
"Bulk" means the term used to indicate the size and setbacks of buildings or structures and the location of same with respect to one another, and includes:
(a)
Height and area of buildings.
(b)
Location of exterior walls in relation to lot lines, streets, or other buildings.
(c)
Gross floor area of buildings in relation to lot area (floor area ratio).
(d)
All open spaces allocated to buildings.
(e)
Amount of lot area required for each dwelling unit.
"Business" means the word "business" or the word "commerce" when used in this Chapter means the engaging in the purchase, sale, barter, or exchange of goods, wares, or merchandise, including services; and the maintenance or operation of offices or recreational or amusement enterprises.
"Canopy, Residential" means a pliable or fabric roof-like structure attached to and projecting from a wall and supported in part by vertical supports from the ground, and erected primarily to provide shelter from the weather.
"Carport" means an open-sided, roofed automobile shelter, usually formed by extension of the roof from the side of a building.
"Car wash" means a building, or portion thereof, containing facilities for washing more than one automobile at any one time, using production line methods with a chain conveyer, blower, steam cleaning device, or other mechanical devices; or providing space, water, equipment, or soap for the complete or partial hand-washing of such automobiles, whether by operator or by customer.
"Cellar" means a story having more than one-half of its height below the grade of the building. A cellar is not included in the computing the number of stories for the purpose of height regulation.
"Cemetery" means the land used or intended to be used for the burial of the animal or human dead and dedicated for cemetery purposes, including crematories, mausoleums, crematorium columbaria, chapels and mortuaries if operated in connection with and within the boundaries of such cemetery.
"Certificate, occupancy" means the written approval of the Zoning Administrator certifying that the building or structure, as constructed, conforms to the applicant's approved plans and drawings as authorized through the zoning certificate.
"Certificate, zoning" means the written approval of the Zoning Administrator certifying that the applicant's plans and drawings comply with all applicable provisions of this Chapter. The "zoning certificate" may consist of a standardized independent form bearing the signature of the Zoning Administrator or it may be represented as a part of the building permit application.
"Church" means a building primarily used for religious worship. The word "church" shall include chapel, temple and synagogue.
"City" means the City of Elmhurst, Illinois.
"Clinic, medical or dental" means an organization of specializing physicians or dentists or both, who have their offices in a common building. A clinic shall not include inpatient care.
"Club or lodge, private (non-profit)" means a nonprofit association of persons, who are bona fide members paying dues, which owns, hires, or leases a building, or portion thereof; the use of such premises being restricted to members and their guests. The affairs and management of such "private clubs or lodge" or conducted by a board of directors, executive committee, or similar body chosen by the members. It shall be permissible to serve food, meals and beverages on such premises.
"Cold frame" means a temporary unheated, transparent roofed structure, not higher than three feet, or greater than one hundred (100) square feet, used to protect plans from excessively cold and wet weather. Construction material typically consists of, but is not limited to, a wooden or concrete frame and a plastic or glass cover. A cold frame may not be used for storage.
"Commercial vehicle" means any vehicle, except standard passenger vehicles, operated for the transportation of persons or property in the furtherance of any commercial or industrial enterprise, for-hire or not-for-hire, but not including a vehicle used in a ride-sharing arrangement when being used for that purpose or a recreational vehicle not being used commercially. In any event, any vehicle that is licensed for a gross weight, including vehicle and cargo, of eight thousand and one (8,001) pounds or more, or any vehicle used in a commercial enterprise and containing lettering on the vehicle body advertising a commercial enterprise, shall be considered a commercial vehicle. In addition, a vehicle will be considered to be a commercial one if the same allows for property and/or equipment to be stored and/or transported in a manner which is not completely enclosed within such vehicle.
"Commission" means the City of Elmhurst, Illinois, Zoning and Planning Commission.
"Compact car" means a parking space for compact cars with dimensions smaller than or equal to five feet nine inches in width and fourteen (14) feet eleven (11) inches in length.
"Composting site, commercial" means any use of land for the storage and subsequent sale or distribution of lawn clippings, shrub and tree branches and leaves, and other vegetation and decaying organic matter; such mixture is intended for use in fertilizing and conditioning of land.
"Comprehensive plan" means the official comprehensive plan of the City of Elmhurst, dated January 1990, adopted by the City Council on January 15, 1990, as Ordinance No. O-22-89, as amended from time to time.
"Congregate housing for senior citizens" means multiple-unit housing designed as a planned, coordinated development that caters to the special needs of three or more unrelated adults, at least eighty (80) percent of whom are fifty-five (55) years of age or older who are capable of independent living, yet need certain facilities and services available on site to compensate for declining mobility, perception and cognition, except the provision of ongoing on-site medical care.
"Conservatory" means a greenhouse, usually attached to a dwelling, for growing and displaying plans.
"Continuing care retirement community (CCRC)" means facilities providing a continuum of care for senior citizens, or persons with disabilities, including, but not limited to, the following: independent living, assisted living, supportive services and nursing care (nursing homes). Examples of the services offered include meals, housekeeping and laundry services, transportation, social and recreational programs, assistance with personal care, health care related services, and short-term and long-term nursing care.
"Convalescent, nursing" or "rest home." See nursing home.
"Cultural facility" means a structure or premises devoted primarily to the arts and/or enlightenment.
"Curb level" means the level of the established curb in front of a building measured on top of the curb at the center of such front. (Where no curb elevation has been established, the pavement elevation at the street center line similarly measured, or the mean elevation of the finished lot grade immediately adjacent to a building shall be considered the "curb level.")
"Day care center" means any child care facility receiving more than eight children for daytime care during all or part of a day. The term "day care center" includes facilities commonly called "child care centers", "day nurseries", "nursery schools", "kindergartens", "playgrounds" and "centers or workshops for mentally or physically handicapped with or without stated educational purposes. The term does not include a. kindergartens or nursery schools or other daytime programs operated by public or private elementary school systems or secondary level school units or institutions of higher learning; b. facilities operated in connection with a shopping center or service, or other similar facility, where transient children are cared for temporarily while parents or custodians of the children are occupied on the premises, or are in the immediate vicinity and readily available; c. any type of day care center that is conducted on federal government premises; or d. special activities programs, including athletics, crafts instruction and similar activities conducted on an organized and periodic basis by civic, charitable and governmental organizations.
"Day care home" means any dwelling or family home which, as a home occupation, receives for care for less than twenty-four (24) hours per day, more than three up to a maximum of eight children. The number counted includes the family's natural or adopted children residing in the home and all other persons under the age of twelve. This term does not include facilities which receive only children from a single household.
"Decibel" means a unit of measurement of the intensity (loudness) of sound. Sound level meters which are employed to measure the intensity of sound are calibrated in "decibels."
"Director of Planning and Development" means the City of Elmhurst, Illinois, Director of Planning and Development, or an appointed designee.
"Development" means the division of land into two or more parcels, or the construction, reconstruction, conversion, structured alteration, relocation, or enlargement of any structure, or any mining, landfill, quarrying, or land disturbance, and any use or the extension of use of the land.
"District" means a portion of the corporate area of the city within which certain uniform regulations and requirements, or various combinations thereof, apply under the provisions of this Chapter.
"Drive-in" and/or "drive-through establishment" means an establishment that dispenses products or services to patrons who remain in motor vehicles. If, in addition to the dispensing of products or services for patrons remaining in their motor vehicles or elsewhere on the premises outside any completely enclosed structure, an establishment also allows for the dispensing of such products or services within a completely enclosed structure, it shall be considered a drive-in and/or drive-through establishment.
"Driveway" means a hard-surfaced area on a zoning lot upon which vehicles may be driven or parked, and which may provide access to parking spaces.
"Driveway approach" means the area from street pavement to zoning lot which provides vehicular access to a driveway.
"Dwelling" means a building, or portion thereof designed or used exclusively for residential occupancy, including single-family dwellings, two-family dwellings, multiple-family dwellings and apartment hotels, but not including hotels or motels.
"Dwelling, attached" means one which is joined to another dwelling at one or more sides by party walls.
"Dwelling, detached" means one which is entirely surrounded by open space on the same zoning lot.
"Dwelling, multiple-family" means a building, or portion thereof, containing three or more dwelling units.
"Dwelling, single-family" means a building containing one dwelling unit only.
"Dwelling, two-family" means a building containing two dwelling units.
"Dwelling unit" means any room or group of rooms located within a dwelling and forming a single habitable unit with facilities that are used, or intended to be used for living, sleeping, cooking, and eating.
"Easement" means land or an interest in land which has been designated by lawful agreement between the owner or owners of such land and another person or persons, for a specified use only by such person or persons.
"Efficiency unit" means a dwelling unit consisting of one principal room, together with bathroom, kitchen facilities and closet space.
"Establishment, business" means a place of business carrying on operations, the ownership and management of which are separate and distinct from those of any other place of business located on the same zoning lot.
"Excavation" means any cutting, grading, trenching, digging, stripping, or bustling for any purpose.
"Extended medical care facilities" means those medical facilities designed to accommodate inpatients in need of lengthy recuperative periods requiring nursing attention and periodic medication.
"Family" means an individual or two or more persons related by blood, marriage, or legal adoption living together as a single housekeeping unit within a dwelling unit, including foster children, domestic servants, and not more than two guests or roomers. The word "family" shall include not more than four unrelated persons living together as a single housekeeping unit.
"Fence" means a tangible, man-made barrier constructed of any allowable material erected for the purposes of providing a boundary or as a means of protection, or to prevent uncontrolled access, or for decorative purposes, (such as an ornamental gate or ornamental gates) and/or to screen from viewers in or on adjoining properties and streets, materials stored and operations conducted behind it.
"Flood" means the condition existing when the waters of any watercourse, pond, or depressions temporarily rise to a height above their normal levels and overflow the boundaries within which they are ordinarily contained. It also includes the unusual rapid accumulation or run-off of surface waters.
"Floor area" (for determining floor area ratio) means the sum of the gross horizontal area of the several floors of the building measured from the exterior walls or from the center line of walls separating two buildings. The "floor area" of a building shall include basement floor area, elevator shafts, and stairwells on each floor, floor space used for mechanical equipment (except equipment, open or enclosed located on the roof), penthouses, attic space having headroom of seven feet or more, interior balconies and mezzanines, enclosed porches, and floor area devoted to accessory uses. However, any space devoted to off-street parking or loading shall not be included in "floor area."
The "floor area" of structures devoted to bulk storage of materials including, but not limited to, grain elevators and petroleum storage tanks shall be determined on the basis of height in feet; i.e., ten (10) feet in height shall equal one-floor.
"Floor area" (for determining off-street parking and loading requirements) means the sum of the gross horizontal areas of the several floors of the building, or portion thereof, devoted to such use, including accessory storage areas located within selling or working space such as counters, racks, or closets, and any floor area devoted to retailing activities, to the production or processing of goods or to business or professional offices.
However, "floor area" for the purposes of measurement for off-street parking spaces shall not include: floor area devoted primarily to storage purposes (except as otherwise noted herein); floor area devoted to off-street parking or loading facilities, including aisles, ramps, and maneuvering space; or mechanical or storage floor area other than area devoted to retailing activities, to the production or processing of goods, or to business or professional offices.
"Floor area ratio (FAR)" means the floor area of the building or buildings on a zoning lot divided by the area of such zoning lot, or, in the case of planned developments, by the net site area. The "floor area ratio" requirements—as set forth under each zoning district—shall determine the maximum floor area allowable for the building or buildings (total floor area of both principal and accessory buildings) in direct ratio to the gross area of the zoning lot.
"Frequency" means the number of oscillations per second in a sound wave and is an index of the pitch of the resulting sound.
"Frontage" means the length of all the property fronting on one side of a street between the two nearest intersecting streets, measured along the line of the street, or if dead ended, then all of the property abutting on one side between an intersecting street and the dead end of the street. The frontage of a lot is the shortest line abutting a street.
"Frontage road" means a public or private street, closely paralleling a larger public street, which provides the primary means of vehicles across from adjacent property to the larger street.
"Frontage, zoning lot" means the length of all the property of such zoning lot fronting on a street, measured between side lot lines.
"Garage, private" means an accessory building for the purposes of housing not more than three motor-driven passenger vehicles for the private use of one owner or family.
"Garage, public" means any building, except a private or storage garage, used for equipping, repairing, hiring, selling or storing motor-driven vehicles, but not including areas used exclusively for exhibition or show room purposes.
"Garage, storage" means any building used for housing only of motor-driven vehicles, pursuant to previous arrangements and not to transients, and at which automotive fuels and oils are not dispensed and motor-driven vehicles are not equipped, repaired, hired or sold.
"Golf course" means the public, semi-public or private grounds over which the game of golf is played, including accessory buildings and land uses incidental thereof, and consisting of at least twenty-five (25) acres for each nine-hole "Par 3" course.
"Grade"
(a)
For buildings having walls adjoining one street only, the elevation of the sidewalk at the center of the wall adjoining the streets;
(b)
For buildings having walls adjoining more than one street, the average of the elevations of the sidewalk at the center of all walls adjoining the streets;
(c)
For buildings having no wall adjoining the street, the elevation of the finished surface of the ground at the center of the wall facing the street. The elevation of the finished surface of the ground shall be determined by the City Engineer.
Any wall approximately parallel to and not more than five feet from a street line is to be considered as adjoining the street. Where no sidewalk exists, the grade shall be established by the City Engineer.
"Grade, existing" means the average or mean elevation of a parcel, lot or tract of land prior to commitment of development activity.
"Grade, final" means the average of the finished gravel land at the center of all walls of a building or structure. Where a building wall or other structure is within five feet of a sidewalk, the final grade shall be measured at the sidewalk.
"Greenhouse" means a building, room, or area, usually chiefly of glass, in which the temperature is maintained within a desired range, used for cultivating tender plans or growing plans out of season.
"Group home (community residence)" means a residential building housing service for dependent or developmentally disabled people living with professional staff who function as surrogate parents. The group home houses individuals who are undergoing treatment or rehabilitation and constitutes a single housekeeping unit in which residents share responsibilities, meals and recreation.
"Helipad" means any portion of an area used or intended to be used for the landing and take-off of helicopters and does not include passenger or cargo facilities fueling, service, storage, tie-down, hangars or similar facilities.
"Heliport" means any portion of an area used or intended to be used for the landing and take-up of helicopters which, in addition includes any passenger facilities and cargo facilities maintenance and overhaul, fueling, service, storage, tie-down areas, hangers and similar facilities.
"Helistop" means an portion of an area used or intended to be used for the landing and take-off of helicopters and does not include passenger or cargo facilities, fueling, service, storage, tie-down, hangars or similar facilities.
"Home occupation" means any occupation or profession carried on by a member of the immediate family residing on the premises, in connection with which there is used no sign or display that will indicate from the exterior that the building is being utilized in whole or in part for any purpose other than that of a dwelling; no substantial amount of stock in trade is kept or commodities sold; the home occupation and all related activity, including storage, shall be conducted completely within the dwelling unit; there shall be no structural alterations, or construction features to the dwelling, nor installation of special equipment attached to the walls, floors, or ceilings; the home occupation does not require regular receipt or delivery of merchandise, goods or equipment by any motor vehicle bearing a Division of Motor Vehicles License Class "C" or higher; the home occupation does not result in the simultaneous presence on the zoning lot and the adjoining street of more than three motor vehicles in excess of the number of vehicles attributable to the residential use of the premises; the home occupation does not cause or result in the arrival or entrance at or upon the premises of more than eight persons upon any given day for the purposes of, or in connection with, such occupation, activity or profession (however, for day care homes being conducted as home occupations, up to eight children may be received and cared-for on a given day); the home occupation does not cause or result in persons arriving at or entering the premises before 7:30 a.m. or after 8:00 p.m.; no person is employed other than a member of the immediate family residing on the premises; and no mechanical or electrical equipment is used except such as is permissible for purely domestic or household purposes; and the home occupation does not occupy more than five hundred (500) square feet of gross floor area. A professional person may use his residence for infrequent consultation, emergency treatment, or performance of religious rites, but not for the general practice of his profession. No accessory buildings shall be used for such home occupation. The repair of internal combustion engines, including, but not limited to, automobiles, motorcycles, snowmobiles, jet skis, aircraft motors, boat motors, recreational vehicle motors, chain saws, leaf blowers, generators, and any similar such equipments, shall be prohibited as a home occupation.
"Hospital" means a medical institution devoted primarily to the maintenance and operation of facilities for the diagnosis, treatment, and care of individuals suffering from illness, disease, injury, deformity or other abnormal physical condition.
"Hotel" or "motel" means an establishment which is open to transient guests, in contradistinction to a boarding, rooming or lodging house, and is commonly known as a hotel in the community in which it is located; and which provides customary hotel services such as maid service, the furnishing and laundering of linen, telephone and secretarial or desk service, the use and upkeep of furniture, and bellboy service.
"Incompatible use" means a use or service which is unsuitable for direct association with certain other uses because it is contradictory, incongruous, or discordant.
"Industrial park" (or "business park") means a special or exclusive type of planned industrial area designed and equipped to accommodate a community of industries, providing them with all necessary facilities and services in attractive surroundings among compatible neighbors. Industrial parks may be promoted or sponsored by private developers, community organizations, or government organizations.
"Junk (or salvage) yard" means an open area where waste or scrap materials are bought, sold, exchanged, stored, baled, packed, disassembled, or handled, including, but not limited to, scrap iron and other metals, paper, rags, rubber tires, and bottles. A "junk or salvage yard" includes an auto wrecking yard, but does not include uses established entirely within enclosed buildings.
"Kennel" means any premises or portion thereof on which four or more dogs, cats, or other household domestic animals over four months of age are kept, or on which more than two such animals are maintained, boarded, bred, or cared for, in return for remuneration, or are kept for the purpose of sale.
"Laboratory" means a place devoted to experimental study such as testing and analyzing. Manufacturing of product or products is not to be permitted within this definition.
"Landscape" means an area of land, other than a natural area, on which there has been located lawns, trees, shrubs, plants, water features and other improvements.
"Lodging house" (including boarding and rooming house) means a residential building, or portion thereof—other than a motel, apartment hotel, or hotel—containing lodging rooms which accommodate persons who are not members of the keeper's family. Lodging with or without meals is provided for compensation on a weekly or monthly basis.
"Lodging room" (rooming unit) means a room rented as sleeping and living quarters, but without cooking facilities and with or without an individual bathroom. In a suite of rooms without cooking facilities, each room which provides sleeping accommodations shall be counted as one "lodging room" for the purposes of this Chapter.
"Lot" means a parcel of land which is either a "lot of record" or a "zoning lot".
"Lot area, gross" means the area of a horizontal plane bounded by the front, side, and rear lot lines, but not including any area occupied by the waters of a duly recorded lake or river. (See illustration, Appendix A)
"Lot corner" means a lot situated at the intersection of the two streets, the interior angle of such intersection not exceeding one hundred thirty-five (135) degrees. (See illustration, Appendix A)
"Lot depth" means the horizontal distance between the front lot line and the rear lot line of a lot, measured within the lot boundaries. (See illustration, Appendix A)
"Lot coverage" means the area or portion of the lot occupied by buildings.
"Lot frontage" means the length of the front lot line between side lot lines.
"Lot, interior" means a lot other than a corner or reversed corner lot. See illustration, Appendix A)
"Lot line, front" means the boundary of the lot which is along an existing or dedicated public street or, where no public street exists, is along a public way. On a corner lot, the front lot line shall be the shortest lot line on a public right-of-way (See illustration, Appendix A). Except in the event that a residentially zoned interior lot is consolidated through a plat of consolidation recorded in DuPage County, with an adjacent corner lot in which both lots are in the same zoning district and prior to consolidation the front lot line of both lots share the same public street or public way, the currently designated front lot line will not change.
"Lot line, rear" means that boundary of a lot which is most distant from, and is, or is most nearly, parallel to, the front lot line. (See illustration, Appendix A)
"Lot line, side" means any boundary of a lot which is not a front lot line or a rear lot line. (See illustration, Appendix A)
"Lot of record" means a lot which is part of a subdivision, the plat of which has been recorded in the office of the Recorder of Deeds of DuPage County; or a parcel of land, the deed to which was recorded in the office of said Recorder of Deeds prior to the adoption of this Chapter.
"Lot, reversed corner" means a corner lot the street side lot line of which is substantially a continuation of the front lot line of the first lot to its rear. (See illustration, Appendix A)
"Lot, through" means a lot having a pair of opposite lot lines along two or more less parallel public streets, and which is not a corner lot. On a "through lot" both street lines shall be deemed front lot lines. (See illustration, Appendix A)
"Lot, zoning" means a single tract of land located within a single block, which (at the time of filing for a building permit) is designated by its owner or developer as a tract to be used, developed, or built upon as a unit, under single ownership or control. Therefore, a "zoning lot or lots" may or may not coincide with a lot of record.
"Low tunnel" means a temporary structure typically made of, but not limited to, flexible pipe or other material covered with translucent plastic/material, constructed in a "half-round" or "hoop" shape, for the purpose of protecting and cultivating plants. A low tunnel cannot exceed three feet in height nor one hundred (100) square feet in area. The land that is covered by a low tunnel must be an area designated for crop cultivation where crops are grown in the natural soil profile or in raised beds. A low tunnel may not be used for storage of inorganic materials. A low tunnel is considered more temporary than a greenhouse.
"Marquee" means a roof-like structure of a permanent nature which projects from the wall of a building.
"Massage" or "practice of massage" means any method of applying pressure on or friction against or stroking, kneading, rubbing, tapping, pounding, vibrating or stimulating the external soft parts of the body with the hand or with the aid of any mechanical or electrical apparatus or appliance, with or without such supplementary aids as rubbing alcohol, liniments, antiseptics, oils, powder, creams, lotions, ointments or other similar preparations.
"Massage parlor" and/or "bathhouse" means any massage parlor; Turkish, steam, sauna, or other bathhouse; magnetic healing institute; rom; place; establishment; or institution where massage is given or offered by a masseur or masseuse.
"Massage school" means any establishment providing instruction in the theory, method and practice of massage. Excluded from the definition of massage school shall be any establishment having a course of study in massage therapy approved by a nationally recognized massage therapy association and providing at least five hundred (500) hours of instruction in anatomy, physiology, practice of massage, theory of massage, hydrotherapy and business practices.
"Massage therapist" means a practitioner of massage therapy who holds a degree, diploma or certificate in massage therapy from any school or course of study approved by a nationally recognized massage therapy association or who is certified or otherwise recognized by such an association to practice massage therapy.
"Masseur" or "masseuse" means any person who, for any kind of consideration, engages in the practice of massage. The following persons, however, shall not be considered to be masseurs or masseuses when practicing massage within the scope of their vocation, employment, course of study or volunteer services:
(a)
Physicians, physicians' assistants, surgeons, podiatrists, chiropodists, osteopaths, chiropractors, registered nurses, practical nurses, physical therapists, barbers and cosmetologists licensed, registered or certified to practice in the State of Illinois.
(b)
Athletic trainers for any athletic program of a private or public school, college or university or for any athletic team regularly organized and engaging in competition.
(c)
Massage therapists.
(d)
Any person enrolled in a school or program licensed by the State of Illinois or accredited by a national accrediting association, in medicine, osteopathy, chiropractic, podiatry, nursing, physical therapy, massage therapy, barbering or cosmetology.
(e)
Any counselor, instructor, employee, or volunteer of the Young Men's Christian Association, Young Men's Hebrew Association, Young Women's Christian Association, and Young Women's Hebrew Association.
"Medical cannabis cultivation center" means a facility operated by an organization or business that is registered by the Department of Agriculture to perform necessary activities to provide only registered medical cannabis dispensing organizations with usable medical cannabis.
"Medical cannabis dispensing facility" means a facility operated by an organization or business that is registered by the Department of Financial and Professional Regulation to acquire medical cannabis from a registered cultivation center for the purpose of dispensing cannabis, paraphernalia, or related supplies and educational materials to registered qualifying patients.
"Membrane structure" means an air-inflated, air-supported, cable or frame covered structure as defined by the International Building Code and not otherwise defined as a tent.
"Mezzanine" means an intermediate story between the floor and ceiling of a main story and extending over only part of the main floor.
"Microbreweries" means a brewery for malt beverages that has an annual nationwide production of not less than one hundred (100) barrels or more than fifteen thousand (15,000) barrels per year which may include a tasting room and retail space to sell product to patrons on-site
"Microwineries" and "microdistilleries" means a facility that produces no more than thirty-five thousand (35,000) gallons per year of spirituous beverages on-site and may include a tasting room and retail space to sell product to patrons on-site
"Mobile home" means a structure transportable in one or more sections, which is built on a permanent chassis, and designed to be used with or without a permanent foundation when connected to the required utilities. It does not include recreational vehicles or travel trailers.
"Modified shipping container" means a shipping container that has been modified or repurposed to be used as a food or beverage serving station.
"Motel." See hotel.
"Motor freight terminal" means a building or area in which freight, shipped by motor truck or railroad, is received, assembled, sorted, and/or rerouted for local, intrastate, or interstate shipment by motor truck.
"Motor vehicle" means any self-propelled wheeled conveyance that does not run on rails and that carries passengers, goods and equipment. For the purpose of this Chapter, motor vehicles are separated into two divisions:
(a)
First Division. Those motor vehicles, which are designed for the carrying of not more than ten (10) persons.
(b)
Second Division. Those motor vehicles which are designed for carrying more than ten (10) passengers, those motor vehicles designed or used for living quarters, those motor vehicles which are designed for pulling or carrying freight or cargo, and those motor vehicles of the first division remodeled for use as motor vehicles of the second division.
"Nonalcoholic drinking and entertainment establishment" means an establishment regardless of the age of patrons which serves non-alcoholic beverages and provides on a regular basis, entertainment, including, but not limited to: live entertainment, dancing or music.
"Nonconforming building or structure" means any building or structure, lawful at the time of enactment of this Chapter, which:
(a)
Does not comply with all of the regulations of this Chapter or of any amendment hereto governing bulk for the zoning district in which such building or structure is located; or
(b)
Is designed or intended for a nonconforming use.
"Nonconforming use" means any use of land, buildings, or structures, lawful at the time of the enactment of this Chapter, which does not comply with all of the regulations of this Chapter or of any amendment hereto governing use of the zoning district in which such use is located.
"Noxious matter" means the matter which is capable of causing injury or illness to living organisms, or is capable of causing detrimental effects to the health or the psychological, social, or economic well-being of humans.
"Nursing home" (also known as convalescent center, rest home, convalescent nursing, health care center, long-term care, nursing center, skilled nursing facility, etc.) means a private home, institution, building, or residence serving three or more persons who are not related by blood or marriage to the operator, whether operated for profit or not, which undertakes, through its ownership or management, to provide maintenance, personal care, or nursing for persons who, by reason or illness or physical infirmity, are unable properly to care for themselves. A nursing home must comply with the State of Illinois Nursing Home Care Act, as amended from time to time.
"Obstruction" means any building or structure, or part thereof, which is located so as to intrude upon any open space required by this Code. Trees or shrubs shall not be considered as obstruction, except as may be regulated herein.
"Octave band" is a means of dividing the range of sound frequencies into octaves in order to classify sound according to pitch.
"Odorous matter" means any matter or material that yields an odor which is offensive in any way.
"Off-street parking and loading space" means an open or enclosed area other than a street used for the loading and unloading of goods or materials from motor vehicles and trailers.
"Open space" means an area that is installed to provide light and air, and is designed for either environmental or scenic, or recreational purposes. Open space may include, but is not limited to, lawns, decorative planting, walkways, active and passive recreation areas, playgrounds, fountains, swimming pools, wooded areas, and water courses. Open space shall not be deemed to include driveways, parking lots or any other surfaces designed or intended for vehicle travel.
"Parking space" means a temporary storage area, either indoor or outdoor, used, or intended to be used, for the parking of a motor vehicle, provided with, but not including a driveway or other means of access.
"Particulate matter" means dust, smoke, or any other form of airborne pollution in the form of minute separate particles.
"Passenger vehicle" means a privately-owned, non-commercial motor vehicles of the first division (State motor vehicle act), that is, designed for carrying not more than ten (10) persons.
"Patio house" means a unique housing design concept that seeks to provide a more private and usable open space on a residential lot by allowing that "yard space" to be provided in the interior of a lot, surrounded by structural elements of the dwelling. (Also referred to as "zero lot line housing")
"Pawn shops" means an establishment wherein the business of a pawnbroker is conducted. A pawnbroker shall be any person who lends or advances money or other things for profit on the pledge and possession of personal property, or other valuable things, other than securities or written or printed evidences of indebtedness; or, who deals in the purchase of personal property or other valuable things on condition of selling the same back to the seller at a stipulated price. Notwithstanding anything contained in this Section to the contrary, a pawnbroker shall not include nor permit the pawning of firearms. A pawnshop shall not be deemed a retail sales establishment except for the purposes of determining off-street parking and transitional screening and barrier requirements.
"Performance standard" means a criterion to control noise, odor, smoke, toxic or noxious matter, vibration, fire and explosive hazards, or glare or heat generated by or inherent in the uses of land or buildings.
"Philanthropic institution" means a structure and/or facilities devoted to the betterment and/or improvement of community life, including but not limited to such institutions as the YMCA, YWCA, boys clubs, and educational or charitable foundations.
"Physical fitness facility/health clubs" means a facility designed for the primary purpose of physical fitness and/or weight reduction wherein members and non-members use equipment or space for the purpose of physical exercise. Such facilities include, but are not limited to, exercise programs, free weights, weight resistance machines, handball, tennis and racquet courts, swimming pools, batting cages, gymnasiums, saunas, whirlpools and locker rooms. The activities shall be conducted entirely within an enclosed building. Physical fitness facilities/health clubs shall not be construed to include municipal or privately owned recreation buildings.
"Planned development" means a parcel of land or contiguous parcels of land of a size sufficient to create its own environment, controlled by a single landowner or by a group of landowners in common agreement as to control, to be developed as a single entity, the environment of which is compatible with adjacent parcels, and the intent of the zoning districts or districts in which it is located; the developer or developers may be granted relief from specific land-use regulations and design standards and may be awarded certain premiums in return for assurances of any overall quality of development, including any specific features which will be of exceptional benefit to the community as a whole.
"Pre-school" means a facility for children who have attained the age of three years which is either:
(a)
Recognized by the State Board of Education; or
(b)
Registered with the State Board of Education and recognized or accredited by a recognized national or multi-state educational organization or association which regularly recognizes or accredits schools; or
(c)
Licensed by the Department of Children and Family Services of the State of Illinois.
"Property lines" means the lines bounding a zoning lot, as defined herein.
"Public use" means a building, structure or parcel of land owned and operated for the benefit of the people at large.
"Public way" means any sidewalk, street, alley, highway, or other public thoroughfare.
"Quarry" means a place where rock, ore, stone, marble and similar materials are excavated for sale or for off-site use.
"Recycling center" means a use of land and/or structures for the receipt, sorting, packaging and forwarding of re-usable waste products, including but not limited to glass, aluminum, bimetal cans, newspapers, plastic and motor oil.
"Recreational center" means a building or use of land operated with or without membership requirements, for entertainment, sport, delivered directly to the consumer; including but not limited to, skating rink, bowling alley, hall, racquet club, swim club, indoor or outdoor golf center, miniature golf course, amusement arcade, or indoor archery, pistol or rifle range.
"Recreational vehicle" means any camping trailer, motor home, mini motor home, travel trailer, truck camper or van camper and any towed recreational equipment such as boats, snowmobiles and motorcycles, including the trailers for same, used privately for recreational purposes and not used commercially. Recreational vehicle more specifically includes:
(a)
Camper Trailer (Pop Up). A recreational trailer not used commercially, constructed with partial side walls which fold for towing and unfold to provide temporary living quarters for recreational camping or travel use and are of a size or weight not requiring an over-dimension permit when towed on a highway.
(b)
House Trailer. A recreational trailer or semitrailer equipped and used for living quarters for human habitation (temporarily or permanently) rather than for the transportation of freight, goods, wares and merchandise.
(c)
Motor Home, Mini Motor Home or Van Camper. Any self-contained motor vehicle, not used commercially, designed or permanently converted to provide living quarters for recreational, camping or travel use, with direct walk-through access to the living quarters from the driver's seat.
(d)
Travel Trailer. A recreational trailer not used commercially, designed to provide living quarters for recreational camping, or travel use, and of a size or weight not requiring an over-dimension permit when towed on a highway.
(e)
Truck Camper. A recreational truck, not used commercially, when equipped with a portable unit designed to be loaded on to the bed which is construed to provide temporary living quarters for recreational, travel or camping use.
"Religious assembly" means a building primarily used for religious worship. It shall include a church, chapel, temple, mosque, and synagogue.
"Research activities" means the conduct of research, development, and testing in various fields of science, such as but not limited to chemistry, pharmacy, medicine, electricity, transportation and engineering.
"Reservoir parking facilities" means those off-street parking space allocated to automobiles awaiting entrance to particular establishment.
"Respite home" means a guest house for senior citizens intended for short term care, offering twenty four (24) hour services in a home setting for a period of time not to exceed thirty (30) days.
"Restaurant" means a business establishment within which food is offered for sale and consumption only within the structure on the premises.
"Restaurant, drive-in." See drive-in establishment.
"Restaurant, take-out." See drive-in establishment.
"Right-of-way" means a strip of land taken or dedicated for use as a public way. In addition to the roadway, it normally incorporates the curbs, lawn strips, sidewalks, lighting and drainage facilities.
"Ringlemann chart" means one which is described in the U.S. Bureau of Mines Information Circular 8333, and on which are illustrated graduated shades of gray for use in estimating the light-obscuring capability of smoke density.
"Ringlemann number" means the number of the area on the Ringlemann chart that coincides most nearly with the visual density of emission or the light-obscuring capacity of the smoke.
"Satellite receiving antenna" means an accessory structure whose purpose is to receive communication or other signals from orbiting satellites and other extraterrestrial sources, and which consist of three main components: the antenna itself (often called a dish); a low-noise amplifier (LNA) and a receiver. The antenna and the LNA are located outdoors and are connected by coaxial cable to the receiver which is located indoors.
"Senior citizen" means a person at least fifty-five (55) years of age.
"Senior citizen home sharing facility" means a residential dwelling unit or units maintained as a single housekeeping unit occupied primarily by persons sixty-two (62) years of age or older wherein the total number of occupants exceeds that which would otherwise be permitted by the definition of "family" [in] of this Article. The maximum number of occupants shall not exceed fourteen (14) persons or two persons per bedroom, whichever is less, including resident employees. Such a facility shall not include care facilities such as nursing homes, sheltered care facilities, or similar facilities which are defined and regulated under the Nursing Home Care Reform Act of 1979 (Ill. Rev. Stat. 1985, Ch. 111 1/2, Section 4151-101 et seq.)
"Senior citizen housing (independent living facility) detached," means attached or multiple-unit dwelling units designed for and intended to be used exclusively for housing of persons sixty-two (62) years of age or older or families of two or more persons related by blood, marriage or operation of law, one member of which is sixty-two (62) years of age or older. Preference for occupancy of this type of housing shall be given to residents of the City to the extent permitted by State and Federal laws.
"Setback" means the required minimum horizontal distance between a property line, or other line, and a building measured to the exterior face of the building.
"Sheltered care facility" means a structure or part of a structure used for the temporary sheltering of abused individuals and/or the homeless. Qualified supervision and care shall be provided for those housed in the facility.
"Shopping center" means a complex of three or more business and commercial establishments, the whole planned, and developed and managed as a unit, sharing common parking facilities.
"Sidewalk" means that portion of the road right-of-way which is paved and intended for the use of pedestrian traffic.
"Sign" means an identification, description, illustration, or device illuminated or not illuminated, which is visible from any public place or is located on private property and exposed to the public, and which directs attention to a product, service, place, activity, person, institution, business or solicitation, including any permanently installed or situated merchandise or any emblem, painting, banner, pennant, placecard, or temporary sign designed to advertise, identify or convey information, and which is subject to regulation by the sign ordinance. For purposes of removal, signs shall also include sign structures.
"Sight triangle" means a triangular area, described by the edge of pavement lines of two intersection streets and a line connecting said edge of pavement lines, in which the height of structures and landscaping regulation is limited to a maximum of three feet above grade in order to promote visibility at street intersections. Any leg of such triangle lying along any street in a residential district or any street forming part of an intersection that is not controlled by a traffic signal or a stop sign shall be a minimum of forty-five (45) feet in length.
"Specified anatomical areas" means:
(a)
Less than completely or opaquely covered human genitals, pubic region, buttock, anus or female breast below a point immediately above the top of the areola; and
(b)
Human male genitals in a discernibly turgid state, even if completely or opaquely covered.
"Specified sexual activities" means:
(a)
Human genitals in a state of sexual stimulation or arousal;
(b)
Acts of human masturbation, sexual intercourse, fellatio or sodomy;
(c)
Fondling, kissing or other erotic touching of specified anatomical areas;
(d)
Flagellation or torture in the context of a sexual relationship;
(e)
Masochism, erotic or sexually oriented torture, beating or the infliction of pain;
(f)
Erotic touching, fondling or other such contact with an animal by a human being; or
(g)
Human excretion, urination, menstruation or vaginal or anal irrigation as part of or in connection with any of the activities set forth in subsections (a)—(f).
"Steeple" means an unoccupied, ornamental tower built on or above the roof of a building.
"Structure, completely enclosed" means a building enclosed by a permanent roof and solid exterior walls with pre-planned constructed windows, doors and other appropriate openings.
"Story" means that portion of a building included between the upper surface of any floor and the upper surface of the floor next above it, or if there be no floor above it, then the space between such floor and the ceiling next above it, except that the topmost story shall be that portion of a building included between the upper surface of the topmost floor and the ceiling or roof above.
"Half story" means that portion of a building the rooms of which are partially cut off by a gable, hip or gambrel roof.
"Street" means a public or private right-of-way which affords a primary means of vehicular access to abutting property, whether designated as a street, avenue, highway, road, boulevard, lane, throughway, or however otherwise designated, but does not include driveways to buildings.
"Structure" means a combination of material to form a construction that is safe and stable; including among others, buildings, stadiums, reviewing stands, platforms, stages, observation towers, radios towers, water tanks and towers, trestles, piers, wharves, sheds, coal bins, shelters, fences and display signs; the term structure shall be constructed as if followed by the words "or part thereof."
"Structural alterations" means any change in the supporting members of a building, such as bearing walls or partitions, columns, beams or girders, or any substantial change in the roof or in the exterior walls.
"Temporary structures" means the following words and terms shall have the meaning shown herein:
• Air-Inflated Structure. A building where the shape of the structure is maintained by air pressurization of cells or tubes to form a barrel vault over the usable area. Occupants of such a structure do not occupy the pressurized areas used to support the structure.
• Air-Supported Structure. A structure wherein the shape of the structure is attained by air pressure and occupants of the structure are within the elevated pressure area.
• Membrane Structure. An air-inflated, air-supported, cable or frame-covered structure as defined by the International Building Code and not otherwise defined as a tent.
• Tent. A structure, enclosure or shelter, with or without side-walls or drops, constructed of fabric or pliable material supported by any manner except by air or the contents that it protects.
"Tent" means a structure, enclosure or shelter, with or without side-walls or drops, constructed of fabric or pliable material supported by any manner except by air or the contents that it protects.
"Three-component measuring system" means a complement of instruments or seismograph which can record, simultaneously, vibration vectors in three mutually-perpendicular directions.
"Threshold limit value (TLV)" means the maximum allowable concentration permitted an industrial worker for eight hours exposure per day, five days a week, as adopted by the American Conference of Governmental Industrial Hygienists.
"Tower and antenna, radio or television" means a structure attached to a building or a detached structure affixed to the ground, used in the transmission, relaying or receiving of electromagnetic waves or signals.
"Townhouse." See dwelling, attached.
"Toxic material" means any substance (liquid, solid or gaseous) which by reason of an inherent deleterious property when emitted in any amount, is injurious to plants, animals, or human beings.
"Trailer" means a movable or portable unit to be towed on its own chassis and which is used for recreational purposes, and is not designed for permanent or long-term residence.
"Use of property" means the purpose or activity for which the land or building thereon is designed, arranged, or intended, or for which it is occupied or maintained.
"Use, conditional" means a use-either public or private-which, because of its unique characteristics, cannot be properly classified as a permitted use in a particular district or districts. After due consideration, in each case, of the impact of such use upon neighboring land and of the public need for the particular use at the particular location, such "conditional use" may or may not be granted, subject to the terms of this Chapter.
"Use, permitted" means a use which may be lawfully established in a particular district or districts provided it conforms with all requirements, regulations, and standards of such district.
"Use, principal" means the main use of land or buildings as distinguished from a subordinate or accessory use. A "principal use" may be "permitted" or "conditional."
"Variation" means a relaxation of the terms of this Chapter where such variation will not be contrary to the public interest and where a literal enforcement of this Chapter would result in unnecessary and undue hardship.
"Vibration" means the periodic displacement, measured in inches, of earth.
"Vibration frequency" means the number of oscillations per second of a vibration.
"Warehouse" means a building or structure or part thereof, used principally for the storage of goods and merchandise.
"Yard" means an open space on the same zoning lot with a building or structure, unoccupied and unobstructed from its lowest level to the sky, except as otherwise permitted in subsection 22.46(c). A "yard" extends along a lot line, and to a depth or width specified in the yard requirements for the zoning district in which such zoning lot is located.
"Yard, corner side" means a side yard which adjoins a public street.
"Yard, front" means a yard extending along the full length of the front lot line between the side lot lines.
"Yard, interior side" means a side yard which is located immediately adjacent to another zoning lot or to an alley separating such side yard from another zoning lot.
"Yard, rear" means a yard extending along the full length of the rear lot line between the side lot lines.
"Yard, side" means a yard extending along a side lot line from the front yard to the rear yard.
"Yard, transitional" means that yard which must be provided on a zoning lot in a business district which adjoins a zoning lot in a residence district, or that yard which must be provided on a zoning lot in an industrial district which adjoins a zoning lot in either a residence or business district.
"Zoning Administrator" means hat person designated as Zoning Administrator by the City Manager and such deputies as may be appointed by the City Manager. The Zoning Administrator is hereby authorized and it is his/her duty to administer and enforce the provisions of this Chapter, making such determinations, interpretations, and other descriptive material in connection with applications/permits as are necessary for him/her to judge compliance with this Chapter.
"Zoning and Planning Commission" means the Zoning and Planning Commission of the City of Elmhurst, Illinois.
"Zoning Board of Appeals" means the Zoning Board of Appeals of the City of Elmhurst, Illinois.*
* The Zoning Board of Appeals and the Zoning and Planning Commission are the same body acting in two capacities.
(Ord. No. ZO-04-2015, § 4, 4-20-2015; Ord. No. ZO-07-2015, § 2, 8-3-2015; Ord. No. ZO-08-2019, § 5, 2-19-2019; Ord. No. ZO-09-2019, § 5, 2-19-2019; Ord. No. ZO-16-2019, § 3, 5-6-19; Ord. No. ZO-18-2019, § 5, 5-20-19; Ord. No. ZO-22-2020, § 2, 9-8-2020; Ord. No. MCO-08-2022, § 6, 7-5-2022)
APPENDIX A—ILLUSTRATIONS
The illustrations contained in this appendix are provided solely to clarify the intent of textual provisions and are not to be considered a part of this Chapter for purposes of construction or interpretation or otherwise.
Definitions:
"Corner lot" is a lot abutting on two streets at their intersection, where the angle of the intersection is not more than one hundred thirty-five (135) degrees.
"Reversed corner lot" is a corner lot where the side street side lot line is substantially a continuation of the front lot line of the first lot to its rear.
"Interior lot" is a lot other than a corner or reversed corner lot.
"Through lot" is a lot having a pair of opposite lot lines along two more or less parallel public streets. On a through lot, both street lines shall be deemed from lot lines.
FIGURE 2—LOT WIDTH AND LOT DEPTH EXPLAINED
Lot Frontage means the length of the front lot line between side lot lines.
Depth of a lot shall be considered to be the distance between the mid-points of straight lines connecting the end points of the side lot lines at the front and the rear.
Width of a lot shall be considered to be the distance between straight lines connecting the front and rear lot lines at each side of the lot measured at the building setback line.
The measurement of lot frontage shall be considered to be the distance between the side lot lines at the street right-of-way. If the side lot lines do not intersect the street right-of-way, the lot frontage shall be only that portion of the lot line abutting the street that coincides with the street right-of-way. For an arched lot line, the lot frontage shall be the internal chord dimension.
FIGURE 4—BUILDINGS (PRINCIPAL AND ACCESSORY)
To determine maximum allowable total floor area on a lot: Multiply F.A.R. x Lot Area = Maximum Total Floor Area
FIGURE 6—FLOOR AREA MEASUREMENT