OFF-STREET PARKING, LOADING AND DRIVEWAY STANDARDS
801.1.
General. Every building, use or structure, instituted or erected after the effective date of this chapter shall be provided with off-street parking facilities in accordance with the provisions of this section for the use of occupants, employees, visitors or patrons. Such off-street parking facilities shall be maintained and continued as an accessory use as long as the main use is continued.
801.1.1.
Existing buildings. Where a building existed at the effective date of this article such building may be modernized, altered or repaired, provided there is no increase in floor area or capacity and there is no change of occupancy, without providing the total number of required parking spaces.
Where a building or use, which existed at the effective date of this chapter is enlarged in floor area, volume, capacity or space occupied, off-street parking facilities as specified herein shall be provided for the additional floor area, volume, capacity or space so created or so occupied.
Where a building or use which existed at the effective date of this chapter is changed in use or occupancy, additional off-street parking facilities shall be provided to the extent that the off-street parking required by this section for the new use or occupancy exceeds the off-street parking which would have been required for the previous use or occupancy had the regulations of this section been applicable thereto. For the purposes of this section a change of use or occupancy shall mean a change from one category of off-street parking requirements to another such category.
It shall be unlawful for an owner or operator of any building, structure or use affected by this section to discontinue, change or dispense with, or to cause the discontinuance or reduction of the required parking facilities apart from the discontinuance, sale or transfer of such structure or use, without establishing alternative vehicle parking facilities which meet the requirements of this section. It shall be unlawful for any person to utilize such building, structure or use without providing the off-street parking facilities to meet the requirements of and be in compliance with this chapter.
801.1.2.
Proximity of off-street parking. Required off-street parking spaces shall be located on the same parcel they are intended to serve. As an alternative, they may be located on a separate parcel not more than 300 feet from the use they are intended to serve provided the owner of said parking areas shall enter into a written agreement with the city of whereby the land providing the parking area shall be joined with the primary site and shall not be sold or disposed of except in conjunction with the sale of the building the parking area serves so long as these parking facilities are required. Said agreement shall be recorded at the expense of the owner and shall run with the land and shall bind the heirs, successors, and assigns of said owner. In approving off-site parking, the community development director must find that the off-site parking facility is reasonably located in relation to the use it is intended to serve, based upon such factors as the type of facility, likely purpose of the trip to the facility, distance from the use intended to be served, and any physical barriers which must be crossed to reach the use to be served. Parking spaces backing into a main drive aisle adjacent to the front of buildings shall be discouraged.
801.1.3.
Parking plan required. A parking plan shall be provided with all applications for development approval which shall clearly and accurately designate the required parking spaces, required landscaped areas and planter islands, access aisles and driveways and the relationship of the parking to the uses or structures the spaces are intended to serve.
801.1.4.
Required handicapped spaces. Parking spaces for disabled persons shall be provided in accordance with F.S. ch. 553, pt. V, as amended from time to time.
801.1.5.
Parking spaces for persons transporting young children and strollers. Parking spaces specifically designed for persons transporting young children under the age of three and strollers, shall be encouraged for all uses other than single-family, duplex or townhouse.
(a)
The following number of spaces are recommended:
(b)
Location of parking spaces. Such spaces should be located as closely as possible to parking spaces designated for the physically handicapped and/or disabled persons; provided however, parking spaces designated for the physically handicapped and/or disabled persons must take precedence. Where no parking spaces designated for the physically handicapped and/or disabled persons have been provided, parking spaces for persons transporting young children and strollers should be located on the shortest accessible route of travel from adjacent parking to an accessible entrance.
(c)
Signage and markings. All parking spaces for persons transporting young children and strollers should be prominently outlined with green paint and posted with an approved permanent above-ground sign which shall conform to the figure entitled "Baby Stroller Parking Sign". The bottom of the sign must be at least five feet above grade when attached to a building, or seven feet above grade for a detached sign.
801.1.6.
Size and character or required parking. The following design requirements shall be observed for off-street parking:
(a)
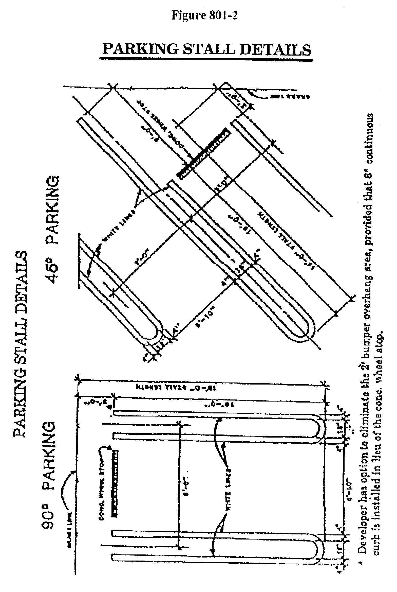
Size; parking stalls. Each parking space required and provided pursuant to the provisions of this article shall be not less than nine feet in width and 18 feet in length. See figure 801-2.
(b)
Size; enclosed garage areas. All one car garages shall provide a single parking space of nine feet by 18 feet free from all obstructions. All two-car garages shall provide two parking spaces consisting of an 18-foot by 18-foot unobstructed space.
(c)
Striping. All parking spaces shall be divided with painted double lines except for single-family homes, townhouses and duplexes where the parking spaces are on a single-family site or as otherwise permitted in this chapter. See figure 801-2.
(d)
Accessibility. In all zoning districts, the width of access aisles and driveways shall be substantially in conformance with the standards set forth in figure 801-1. Every space shall be accessible without driving over or through another parking space. Parking stalls abutting the same continuous drive aisle shall have the same angle and orientation. Drive aisles shall be one-way only which are less than 24 feet wide or which abut parking stalls with angles less than 90 degrees. Parking stall angles and drive aisle direction of flow may change only when the drive aisle is interrupted by a circulation drive or structure.
Minimum Space Requirements At Various Parking Angles for Self Parking Facilities
Min. Space Req. at Various Parking Angeles for Self Parking Facilities
Parking Stall Detail
Parking Stall Detail
(e)
Composition. Driveways in "RS" zoning districts shall be surfaced with concrete. Except where specified above, parking facilities, including access aisles and driveways, shall be surfaced with brick, asphalt or concrete surfacing maintained in a smooth, well-graded condition.
(f)
Drainage. All off-street parking facilities shall be drained so as not to cause any nuisances on adjacent or public property. Such drainage facilities shall be arranged for convenient access and safety of pedestrians and vehicles in accordance with standards set forth in these regulations.
(g)
Curbing. The use of freestanding wheel stops is prohibited in all parking areas. All parking stalls shall be fronted with a continuous type D or type F concrete curbing between six and nine inches high.
(h)
Parking lot islands. The islands formed by the interior of continuous curbing must be landscaped in accordance with the provisions of this chapter. Islands with impervious surfaces are prohibited, although the location of sidewalks inside of islands is allowable if an equal amount of landscaped surface is provided. Islands at the front of parking spaces must allow a clear zone of 20 inches to allow for bumper overhang. Lateral islands separating parking spaces must be provided at least every nine spaces in width.
801.1.7.
Parking setback. The edge of all parking pavement and access roads (not including driveway connections to a street) shall be set back a minimum of ten feet from the right-of-way of all streets. This setback distance shall be landscaped in conformance with these regulations.
801.1.8.
Landscaping of off-street parking. Parking structures and surface parking lots shall be landscaped in accordance with the provisions of these regulations.
801.2.
Grassed overflow parking. For the following specified uses up to 20 percent of the required off-street parking facilities may be provided through the utilization of a grass or lawn alternate parking surface:
Eighty percent of the required off-street parking facilities may be provided through the utilization of a grass or lawn parking surface area when the use of the property for which the off-street parking is required is for the following:
Church.
Funeral home.
Stadium or other sports facility.
801.3.
Joint and shared use facilities.
801.3.1.
Joint usage. Two or more adjacent structures or uses under the same ownership or management may collectively provide their required off-street parking, provided that the total number of parking spaces provided shall not be less than the sum of the requirements for the several individual uses if computed separately. The reservation or assignment of required off-street parking spaces for use by specific individuals or commercial establishments located within that structure or premise shall not be permitted. This provision shall not prohibit the designation of handicapped or emergency spaces.
801.4.
Amount of off-street parking. The minimum number of parking spaces to be provided and maintained for each use or occupancy shall be as follows:
801.4.1.
Residential single-family detached and residential duplex.
(a)
Garage spaces. Each dwelling unit is required to provide a minimum of one parking space in a fully enclosed, attached private garage. Dwelling units with four or more bedrooms are required to provide a minimum of two parking spaces in a fully enclosed, private garage. Conversion of the garage into living area is prohibited.
(b)
Exterior spaces. All dwelling units shall provide a minimum of one unenclosed parking space. Dwellings with three or more bedrooms shall provide two unenclosed parking spaces. Parking spaces shall not be located so as to require a parked vehicle to interfere with sidewalk travel lines
801.4.2.
Residential townhouse (fee simple ownership of underlying lot).
(a)
Garage spaces. Each dwelling unit is required to provide a minimum of one parking space in a fully enclosed, attached private garage. Conversion of the garage into living area is prohibited.
(b)
Exterior spaces. Each dwelling unit shall provide a minimum of one unenclosed parking space. Dwelling units with four or more bedrooms shall provide two unenclosed parking spaces. Parking spaces shall not be located so as to require a parked vehicle to interfere with sidewalk travel lines.
801.4.3.
Residential multifamily (common ownership of underlying land).
(a)
One and one-half parking spaces shall be provided for each efficiency unit or one bedroom unit.
(b)
Two parking spaces shall be provided for each unit with two or more bedrooms or one bedroom unit with den or study.
(c)
In addition to the above, multiple-family buildings of over 35 feet in height or with more than 20 dwelling units shall be required to provide supplemental guest parking space equal to a minimum of five percent of the spaces otherwise required.
801.4.4.
Other residential buildings.
(a)
Dormitories, fraternities. One parking space for each bed.
(b)
Hotels and motels, including clubs. One parking space for each sleeping room. If, in addition to sleeping rooms, there are other uses operated in conjunction with and/or as part of the hotel/motel, additional off-street parking spaces shall be provided for such other uses as would be required by this section if such uses were separate from the hotel/motel to the extent of:
(1)
Thirty-five percent of the required off-street parking for retail stores, offices, services, establishments, bars, restaurants, dining rooms, night clubs or cabarets.
(2)
Fifty percent of the required off-street parking for conference facilities, ballrooms, banquet halls, meeting rooms or auditoriums.
(c)
Housing for elderly requiring little or no special care, including retirement communities or adult retirement communities. One parking space for each dwelling unit plus one space for each employee on the day shift.
(d)
Housing for elderly or others requiring moderate special care, including adult congregate living facilities, assisted living facilities, extended care facilities and long-term care facilities. One-half of one space per bed plus one space for each employee on the day shift.
(e)
Housing for the elderly or others requiring extensive special care, including nursing homes and hospices. One-half parking space per bed and one parking space per employee on day shift.
(f)
Integrated living facilities for the elderly incorporating multiple care environments, including continuing care retirement communities. Parking requirements to be calculated from individual components based on c. through e. above.
801.4.5.
Non-residential: Amusement and recreational facilities.
801.4.6.
Non-residential: Community and educational facilities.
801.4.7.
Non-residential: Industrial, manufacturing and warehousing uses.
801.4.8.
Non-residential: Offices, medical and professional. (For office buildings over 150,000 square feet, see "Large Office Buildings" subsection.)
801.4.9.
Large office buildings. A large office building must meet the following criteria:
(1)
Contain a minimum of 150,000 square feet of total gross floor area for the building;
(2)
Restrict the ultimate occupancy of the building to a minimum of two-thirds office uses;
(3)
Exclude cinemas or theatres.
(a)
One parking space for each 300 square feet of 80 percent of the gross floor area,
(b)
One parking space for each 200 square feet for 12.5 percent of the gross floor area,
(c)
One parking space for each 75 square feet for 7.5 percent of the gross floor area.
In addition, a credit of ten percent of the total parking requirement shall be deducted from the actual number of spaces calculated in the above formula.
801.4.10.
Non-residential: Restaurants, lounges and other food and drink establishments. (When located in shopping centers over 40,000 square feet, see also "Shopping Centers" subsection.)
Open air seating for restaurants and bars shall be calculated at 50 percent of the square footage of the area. Open air seating is defined as follows:
(a)
Any seating area which is not air-conditioned, and
(b)
Any seating area with or without a roof where a maximum of two sides are open or consist of a substantially non-rigid material such as, but not limited to, canvas or screening.
801.4.11.
Non-residential: Retail stores and personal services. (For stores in shopping centers over 40,000 square feet, see "Shopping Centers" subsection.)
801.4.12.
Non-residential: Large shopping centers and/or mixed-use developments.
(a)
Shopping centers over 40,000 square feet in gross floor area may use the following generalized parking values:
(1)
One parking space for each 225 square feet of gross floor area in shopping centers with less than 200,000 square feet of gross leasable area.
(2)
One parking space for each 200 square feet of gross floor area in shopping centers with 200,000 square feet or more of gross leasable area.
Shopping centers which have gross floor areas under 200,000 square feet may use the generalized parking values only if no more than ten percent of gross leasable area occupied by any one or any combination of the following uses:
a.
Bars.
b.
Beer gardens.
c.
Cafes.
d.
Cafeterias.
e.
Cocktail lounges.
f.
Convenience stores.
g.
Night clubs.
h.
Restaurants.
i.
Taverns.
j.
Theaters.
At the discretion of the community development director, shopping centers utilizing the generalized parking values may be required to enter into a covenant or other site plan restriction mandating adherence to this requirement.
(b)
Shopping centers and/or mixed-use developments may apply for approval of shared parking. The petition for shared parking shall include an independent parking study in a form acceptable to the city, which includes but is not limited to, information indicating that the shopping center and/or mixed-use development uses are such that a sufficient disparity in peak demand for parking spaces exists to support the concept of shared parking.
At the discretion of the community development director, shopping centers and/or mixed-use developments utilizing shared parking may be required to enter into a covenant or other site plan restriction restricting the size, mix or location of uses within the shopping center and/or mixed-use development.
(c)
Parking requirements for shopping centers not meeting these criteria shall be calculated on a use by use basis.
801.4.13.
Non-residential: Miscellaneous uses.
(a)
Places of worship. One parking space per four seats in the largest assembly area.
801.4.14.
Calculating required parking spaces.
(a)
Uses not specifically mentioned. The requirements for off-street parking for any uses not specifically listed in this section shall be the same as provided in this section for the use most similar to the one sought, as determined by the community development department.
(b)
Fractional spaces. When units or measurements determining number of required off-street parking spaces result in requirement of fractional space, any such fraction equal to or greater than one-half shall require a full off-street parking space.
(c)
Mixed uses. In the case of mixed uses, the total requirements for off-street parking shall be the sum of the requirements of the various uses computed separately, and off-street parking space for one use shall not be considered as providing the required off-street parking for any other use.
(d)
Measurements.
(1)
For the purposes of this chapter, gross floor area (GFA) shall mean the floor area inside of the exterior walls including elevators, stairwells, common corridors, trash rooms, common lobbies, common restrooms, meter rooms and ancillary power equipment rooms.
(2)
For the purposes of this article, net floor area (NFA) shall mean the floor area inside of the exterior walls excluding elevators, stairwells, common corridors, trash rooms, common lobbies, common restrooms, meter rooms, ancillary power equipment rooms, and all rooms with ceilings less than six feet high.
(3)
For the purposes of this article, total floor area (TFA) shall mean the same as gross floor area.
(4)
In hospitals, bassinets shall not count as beds.
(5)
In stadiums, sport arenas, places of worship and other places of assembly in which occupants utilize benches, pews or other similar seating facilities, each 20 lineal inches of such seating shall be counted as one seat for the purpose of computing off-street parking requirements.
(6)
In outdoor display areas for vehicle sales or rental, only areas designated for vehicle parking shall be measured. Driveway aisles and landscaped medians are not intended to be included in the measured area
801.5.
Use of permitted facilities.
801.5.1.
Permitted use. Parking spaces approved in accordance with this chapter may be used for the intermittent parking of licensed motor vehicles of employees, occupants, owners, tenants or customers utilizing the building or use served by said required parking space. Supplemental parking (parking facilities provided but not required) may be used for any purpose related to the use of the building it serves, subject to the conditions hereinafter set forth.
801.5.2.
Limitations on use of required parking facilities. The following uses and activities shall not be permitted in required parking facilities:
(a)
Parking to serve an off-site building unless in accordance with an off-site parking agreement approved by the city in accordance with this chapter.
(b)
Storage, repair or display of any vehicles, equipment or merchandise, except as may be approved by the city through a temporary use permit.
(c)
Parking of vehicle, which, due to its size, shape, contents or location creates an obstruction, safety hazard or nuisance.
(d)
Parking of vehicles outside of designated parking areas approved on a site plan.
801.6.
Off-street loading.
801.6.1.
General provisions. Adequate space for loading and unloading of materials, goods or things, and for delivery and shipping, shall be provided and maintained on the same plot as the building which it serves.
Where any structure is enlarged or any use is extended so that the size of the resulting occupancy comes within the scope of this section, the full amount of off-street loading space shall be supplied and maintained for the structure or use in its enlarged or extended size. Where the use of a structure or land or any part thereof is changed to a use requiring an off-street loading space, such space shall be supplied and maintained to comply with this section.
For the purposes of this section, an off-street loading space shall be an area at the grade level at least ten feet wide by 25 feet long with a 14-foot vertical clearance. Each off-street loading space shall be directly accessible from a street or alley without crossing or entering any other required loading space, and shall be arranged for convenient and safe ingress and egress by motor truck and/or trailer combination. Such loading space shall also be accessible from the interior of any building it is intended to serve
801.6.2.
Specifications. The following minimum conditions shall apply. Additional conditions may be imposed as part of a conditional use or final site plan approval. Off-street loading spaces shall be provided and maintained in accordance with the following schedule:
(a)
For each retail store, storage warehouse, wholesale establishment, industrial plant, factory, freight terminal, market, restaurant, funeral home, laundry, dry cleaning establishment or similar building or use which has an aggregate gross floor area of:
(b)
Convenience store: One space.
(c)
For each multiple dwelling, hotel or motel which has a number of dwelling or hotel/motel units of:
Such loading spaces shall not be located in the required front yard.
(d)
For each auditorium, convention hall, exhibition hall, museum, hotel, office building, sports arena, stadium, hospital or similar use which has an aggregate gross floor area of:
The loading requirements for any unspecified use shall be that which is required for similar specified uses.
(e)
For each auditorium, convention hall, exhibition hall, museum, hotel, office building, sports arena, stadium, hospital or similar use which has an aggregate gross floor area of:
Over 20,000 square feet but not over 40,000 square feet—One space.
Plus for each additional 60,000 square feet over 40,000 square feet or major fraction thereof—One space. The loading requirements for any unspecified use shall be that which is required for similar specified uses.
(f)
No area or facilities supplied to meet the required off-street parking facilities for a use shall be for, or be deemed to meet, the requirements of this section for off-street loading facilities.
(g)
Nothing in this section shall prevent the collective, joint or combined provision of off-street loading facilities for two or more buildings or uses, provided that such off-street loading facilities are equal in size and capacity to the combined requirements of the several buildings or uses and arranged as to be usable thereby.
(h)
Plans for buildings or uses requiring off-street loading facilities under the provisions of this section shall clearly indicate the location, dimensions, clearances and access of all such required off-street loading facilities.
801.7.
Drive-through service windows. Businesses that provide a drive-through service are required to provide a drive-through service lane or lanes, whether for stacking or queuing, as separate and distinct lanes from the circulation lanes necessary for entering or exiting the property. Each drive-through lane shall be separated from other on-site lanes. Each such drive-through lane shall be curbed, striped, marked or otherwise distinctly delineated. A separate and distinct escape lane shall be provided. A public street or alley shall not be counted as an escape lane. Drive-through lanes and escape lanes shall not conflict, or otherwise hamper access, to or from any parking space. Pedestrian walkways shall be clearly separated from drive-through lanes.
(a)
Specifications. Stacking spaces necessary for the provisions of drive-through lanes shall be determined using the following table. Stacking area shall be provided at the first required stopping area, such as the ordering board of a restaurant. If a second stopping area is required, such as a delivery and cashiering window, auxiliary stacking area shall be provided in the indicated amounts.
(Ord. No. 2011-02, § 4, 4-12-2011; Ord. No. 2020-002, § 6, 5-12-2020)
Editor's note— The figures referenced in this section may be found at the office of the city clerk.
802.1.
Design. Driveway locations, cross-sections and grades shall be installed in accordance with this section, approved engineering plans, and the Florida Building Code as amended from time to time. Driveway access to the street system shall be according to the subdivision design standards, street layout contained in these regulations.
802.2.
Intersection with streets. Driveways for residential lots shall not encroach into the street corner radius of two intersecting streets, or be closer than 25 feet to the intersection of extended right-of-way lines. Driveways for multifamily and nonresidential parking lots shall not intersect a street corner radius, or be closer than 50 feet to the intersection of extended right-of-way lines.
802.3.
Separation between driveways.
(a)
Residential lots. Driveways for single-family residential lots shall be separated by a minimum of ten feet.
(b)
Multifamily and nonresidential parcels. Driveways for multifamily residential parcels and nonresidential parcels on collector roads shall be separated by no less than 150 feet of landscaped frontage. Driveways for multifamily residential parcels and nonresidential parcels on arterial roads shall be separated by no less than 330 feet of landscaped frontage.
802.4.
Maximum width. The maximum width of any driveway measured at the right-of-way line shall not exceed the following:
(a)
Single-family and duplex residential:
(b)
Multifamily residential. Thirty-six feet in width per driveway, except that driveways containing a curbed landscaped median may be permitted up to 48 feet in width per driveway. The total number of driveways allowed shall be limited to the number allowed by the plat, or the approved site plan.
(c)
Non-residential. Thirty-six feet in width per driveway, except that driveways containing a curbed landscaped median may be permitted up to 48 feet in width per driveway. Large shopping centers and large office buildings are permitted driveways up to 48 feet in width per driveway, except that driveways containing a curbed landscaped median may be permitted up to 56 feet in width per driveway. The total number of driveways allowed shall be limited to the number allowed by the plat, or the approved site plan
802.5.
Minimum size. Driveways for single-family and duplex structures in all residentially zoned districts shall have a minimum width of 16 feet and a minimum length of 20 feet providing that such 20 feet shall be clear of sidewalks and roadway easements within the confines of the subject parcel unless otherwise specified in these regulations.
802.6.
Proximity to property lines. Except for, fee simple attached residential, and joint use accessways, driveways shall not be located closer to a property line than the following:
(a)
Single-family and duplex residential.
(i)
Existing units: Two feet.
(ii)
New construction: Five feet.
(b)
Multifamily residential. Ten feet or the bufferyard requirement contained in these regulations, whichever is greater.
(c)
Nonresidential. The width of a required bufferyard, or if no bufferyard is required, ten feet to another nonresidential parcel or 15 feet to a residential parcel.
802.7.
Paving. Driveways shall be paved with a hard, dust-free paving material complying with the Florida Building Code, as amended from time to time. Lots within residential single (RS) family zoning districts, shall utilize Portland concrete material, asphalt, or brick pavers as a minimum for driveways and aprons. In all other zoning districts all driveway connections (aprons) shall be paved with type S-1 asphaltic concrete or other material approved by city's engineer. When repaving residential streets or undertaking drainage or other repairs within a residential swale area, the city will replace driveway aprons with asphaltic material only.
802.8.
Clear sight triangles. All driveways and street intersections shall provide clear sight triangles in both directions as follows:
(a)
Measurement. Clear sight triangles on both sides of all driveways, medians and at all street intersections shall be measured as follows:
(1)
Two major streets. Twenty feet along the right-of-way lines from the intersection of two major streets.
(2)
Major street/local street. Twenty feet along the right-of-way lines from the intersection of a major street with a local street.
(3)
Two local streets. Twenty feet along the right-of-way lines from the intersection of two local streets.
(4)
Driveway/major street. Twenty feet along the right-of-way lines from the intersection of a driveway with a major street.
(5)
Driveway/local street. Ten feet along the right-of-way line from the intersection of a driveway with a local street.
(6)
No parking areas shall be permitted within clear sight triangles.
(b)
Landscaping. The area within any clear sight triangle shall be planted and maintained in a way that provides clear visibility from a height of 30 inches to a height of eight feet above the crown of the street. Vegetation shall be trimmed so that no limbs or foliage extend into the required visibility area.
(Ord. No. 08-33, § 2, 1-13-2009)
OFF-STREET PARKING, LOADING AND DRIVEWAY STANDARDS
801.1.
General. Every building, use or structure, instituted or erected after the effective date of this chapter shall be provided with off-street parking facilities in accordance with the provisions of this section for the use of occupants, employees, visitors or patrons. Such off-street parking facilities shall be maintained and continued as an accessory use as long as the main use is continued.
801.1.1.
Existing buildings. Where a building existed at the effective date of this article such building may be modernized, altered or repaired, provided there is no increase in floor area or capacity and there is no change of occupancy, without providing the total number of required parking spaces.
Where a building or use, which existed at the effective date of this chapter is enlarged in floor area, volume, capacity or space occupied, off-street parking facilities as specified herein shall be provided for the additional floor area, volume, capacity or space so created or so occupied.
Where a building or use which existed at the effective date of this chapter is changed in use or occupancy, additional off-street parking facilities shall be provided to the extent that the off-street parking required by this section for the new use or occupancy exceeds the off-street parking which would have been required for the previous use or occupancy had the regulations of this section been applicable thereto. For the purposes of this section a change of use or occupancy shall mean a change from one category of off-street parking requirements to another such category.
It shall be unlawful for an owner or operator of any building, structure or use affected by this section to discontinue, change or dispense with, or to cause the discontinuance or reduction of the required parking facilities apart from the discontinuance, sale or transfer of such structure or use, without establishing alternative vehicle parking facilities which meet the requirements of this section. It shall be unlawful for any person to utilize such building, structure or use without providing the off-street parking facilities to meet the requirements of and be in compliance with this chapter.
801.1.2.
Proximity of off-street parking. Required off-street parking spaces shall be located on the same parcel they are intended to serve. As an alternative, they may be located on a separate parcel not more than 300 feet from the use they are intended to serve provided the owner of said parking areas shall enter into a written agreement with the city of whereby the land providing the parking area shall be joined with the primary site and shall not be sold or disposed of except in conjunction with the sale of the building the parking area serves so long as these parking facilities are required. Said agreement shall be recorded at the expense of the owner and shall run with the land and shall bind the heirs, successors, and assigns of said owner. In approving off-site parking, the community development director must find that the off-site parking facility is reasonably located in relation to the use it is intended to serve, based upon such factors as the type of facility, likely purpose of the trip to the facility, distance from the use intended to be served, and any physical barriers which must be crossed to reach the use to be served. Parking spaces backing into a main drive aisle adjacent to the front of buildings shall be discouraged.
801.1.3.
Parking plan required. A parking plan shall be provided with all applications for development approval which shall clearly and accurately designate the required parking spaces, required landscaped areas and planter islands, access aisles and driveways and the relationship of the parking to the uses or structures the spaces are intended to serve.
801.1.4.
Required handicapped spaces. Parking spaces for disabled persons shall be provided in accordance with F.S. ch. 553, pt. V, as amended from time to time.
801.1.5.
Parking spaces for persons transporting young children and strollers. Parking spaces specifically designed for persons transporting young children under the age of three and strollers, shall be encouraged for all uses other than single-family, duplex or townhouse.
(a)
The following number of spaces are recommended:
(b)
Location of parking spaces. Such spaces should be located as closely as possible to parking spaces designated for the physically handicapped and/or disabled persons; provided however, parking spaces designated for the physically handicapped and/or disabled persons must take precedence. Where no parking spaces designated for the physically handicapped and/or disabled persons have been provided, parking spaces for persons transporting young children and strollers should be located on the shortest accessible route of travel from adjacent parking to an accessible entrance.
(c)
Signage and markings. All parking spaces for persons transporting young children and strollers should be prominently outlined with green paint and posted with an approved permanent above-ground sign which shall conform to the figure entitled "Baby Stroller Parking Sign". The bottom of the sign must be at least five feet above grade when attached to a building, or seven feet above grade for a detached sign.
801.1.6.
Size and character or required parking. The following design requirements shall be observed for off-street parking:
(a)
Size; parking stalls. Each parking space required and provided pursuant to the provisions of this article shall be not less than nine feet in width and 18 feet in length. See figure 801-2.
(b)
Size; enclosed garage areas. All one car garages shall provide a single parking space of nine feet by 18 feet free from all obstructions. All two-car garages shall provide two parking spaces consisting of an 18-foot by 18-foot unobstructed space.
(c)
Striping. All parking spaces shall be divided with painted double lines except for single-family homes, townhouses and duplexes where the parking spaces are on a single-family site or as otherwise permitted in this chapter. See figure 801-2.
(d)
Accessibility. In all zoning districts, the width of access aisles and driveways shall be substantially in conformance with the standards set forth in figure 801-1. Every space shall be accessible without driving over or through another parking space. Parking stalls abutting the same continuous drive aisle shall have the same angle and orientation. Drive aisles shall be one-way only which are less than 24 feet wide or which abut parking stalls with angles less than 90 degrees. Parking stall angles and drive aisle direction of flow may change only when the drive aisle is interrupted by a circulation drive or structure.
Minimum Space Requirements At Various Parking Angles for Self Parking Facilities
Min. Space Req. at Various Parking Angeles for Self Parking Facilities
Parking Stall Detail
Parking Stall Detail
(e)
Composition. Driveways in "RS" zoning districts shall be surfaced with concrete. Except where specified above, parking facilities, including access aisles and driveways, shall be surfaced with brick, asphalt or concrete surfacing maintained in a smooth, well-graded condition.
(f)
Drainage. All off-street parking facilities shall be drained so as not to cause any nuisances on adjacent or public property. Such drainage facilities shall be arranged for convenient access and safety of pedestrians and vehicles in accordance with standards set forth in these regulations.
(g)
Curbing. The use of freestanding wheel stops is prohibited in all parking areas. All parking stalls shall be fronted with a continuous type D or type F concrete curbing between six and nine inches high.
(h)
Parking lot islands. The islands formed by the interior of continuous curbing must be landscaped in accordance with the provisions of this chapter. Islands with impervious surfaces are prohibited, although the location of sidewalks inside of islands is allowable if an equal amount of landscaped surface is provided. Islands at the front of parking spaces must allow a clear zone of 20 inches to allow for bumper overhang. Lateral islands separating parking spaces must be provided at least every nine spaces in width.
801.1.7.
Parking setback. The edge of all parking pavement and access roads (not including driveway connections to a street) shall be set back a minimum of ten feet from the right-of-way of all streets. This setback distance shall be landscaped in conformance with these regulations.
801.1.8.
Landscaping of off-street parking. Parking structures and surface parking lots shall be landscaped in accordance with the provisions of these regulations.
801.2.
Grassed overflow parking. For the following specified uses up to 20 percent of the required off-street parking facilities may be provided through the utilization of a grass or lawn alternate parking surface:
Eighty percent of the required off-street parking facilities may be provided through the utilization of a grass or lawn parking surface area when the use of the property for which the off-street parking is required is for the following:
Church.
Funeral home.
Stadium or other sports facility.
801.3.
Joint and shared use facilities.
801.3.1.
Joint usage. Two or more adjacent structures or uses under the same ownership or management may collectively provide their required off-street parking, provided that the total number of parking spaces provided shall not be less than the sum of the requirements for the several individual uses if computed separately. The reservation or assignment of required off-street parking spaces for use by specific individuals or commercial establishments located within that structure or premise shall not be permitted. This provision shall not prohibit the designation of handicapped or emergency spaces.
801.4.
Amount of off-street parking. The minimum number of parking spaces to be provided and maintained for each use or occupancy shall be as follows:
801.4.1.
Residential single-family detached and residential duplex.
(a)
Garage spaces. Each dwelling unit is required to provide a minimum of one parking space in a fully enclosed, attached private garage. Dwelling units with four or more bedrooms are required to provide a minimum of two parking spaces in a fully enclosed, private garage. Conversion of the garage into living area is prohibited.
(b)
Exterior spaces. All dwelling units shall provide a minimum of one unenclosed parking space. Dwellings with three or more bedrooms shall provide two unenclosed parking spaces. Parking spaces shall not be located so as to require a parked vehicle to interfere with sidewalk travel lines
801.4.2.
Residential townhouse (fee simple ownership of underlying lot).
(a)
Garage spaces. Each dwelling unit is required to provide a minimum of one parking space in a fully enclosed, attached private garage. Conversion of the garage into living area is prohibited.
(b)
Exterior spaces. Each dwelling unit shall provide a minimum of one unenclosed parking space. Dwelling units with four or more bedrooms shall provide two unenclosed parking spaces. Parking spaces shall not be located so as to require a parked vehicle to interfere with sidewalk travel lines.
801.4.3.
Residential multifamily (common ownership of underlying land).
(a)
One and one-half parking spaces shall be provided for each efficiency unit or one bedroom unit.
(b)
Two parking spaces shall be provided for each unit with two or more bedrooms or one bedroom unit with den or study.
(c)
In addition to the above, multiple-family buildings of over 35 feet in height or with more than 20 dwelling units shall be required to provide supplemental guest parking space equal to a minimum of five percent of the spaces otherwise required.
801.4.4.
Other residential buildings.
(a)
Dormitories, fraternities. One parking space for each bed.
(b)
Hotels and motels, including clubs. One parking space for each sleeping room. If, in addition to sleeping rooms, there are other uses operated in conjunction with and/or as part of the hotel/motel, additional off-street parking spaces shall be provided for such other uses as would be required by this section if such uses were separate from the hotel/motel to the extent of:
(1)
Thirty-five percent of the required off-street parking for retail stores, offices, services, establishments, bars, restaurants, dining rooms, night clubs or cabarets.
(2)
Fifty percent of the required off-street parking for conference facilities, ballrooms, banquet halls, meeting rooms or auditoriums.
(c)
Housing for elderly requiring little or no special care, including retirement communities or adult retirement communities. One parking space for each dwelling unit plus one space for each employee on the day shift.
(d)
Housing for elderly or others requiring moderate special care, including adult congregate living facilities, assisted living facilities, extended care facilities and long-term care facilities. One-half of one space per bed plus one space for each employee on the day shift.
(e)
Housing for the elderly or others requiring extensive special care, including nursing homes and hospices. One-half parking space per bed and one parking space per employee on day shift.
(f)
Integrated living facilities for the elderly incorporating multiple care environments, including continuing care retirement communities. Parking requirements to be calculated from individual components based on c. through e. above.
801.4.5.
Non-residential: Amusement and recreational facilities.
801.4.6.
Non-residential: Community and educational facilities.
801.4.7.
Non-residential: Industrial, manufacturing and warehousing uses.
801.4.8.
Non-residential: Offices, medical and professional. (For office buildings over 150,000 square feet, see "Large Office Buildings" subsection.)
801.4.9.
Large office buildings. A large office building must meet the following criteria:
(1)
Contain a minimum of 150,000 square feet of total gross floor area for the building;
(2)
Restrict the ultimate occupancy of the building to a minimum of two-thirds office uses;
(3)
Exclude cinemas or theatres.
(a)
One parking space for each 300 square feet of 80 percent of the gross floor area,
(b)
One parking space for each 200 square feet for 12.5 percent of the gross floor area,
(c)
One parking space for each 75 square feet for 7.5 percent of the gross floor area.
In addition, a credit of ten percent of the total parking requirement shall be deducted from the actual number of spaces calculated in the above formula.
801.4.10.
Non-residential: Restaurants, lounges and other food and drink establishments. (When located in shopping centers over 40,000 square feet, see also "Shopping Centers" subsection.)
Open air seating for restaurants and bars shall be calculated at 50 percent of the square footage of the area. Open air seating is defined as follows:
(a)
Any seating area which is not air-conditioned, and
(b)
Any seating area with or without a roof where a maximum of two sides are open or consist of a substantially non-rigid material such as, but not limited to, canvas or screening.
801.4.11.
Non-residential: Retail stores and personal services. (For stores in shopping centers over 40,000 square feet, see "Shopping Centers" subsection.)
801.4.12.
Non-residential: Large shopping centers and/or mixed-use developments.
(a)
Shopping centers over 40,000 square feet in gross floor area may use the following generalized parking values:
(1)
One parking space for each 225 square feet of gross floor area in shopping centers with less than 200,000 square feet of gross leasable area.
(2)
One parking space for each 200 square feet of gross floor area in shopping centers with 200,000 square feet or more of gross leasable area.
Shopping centers which have gross floor areas under 200,000 square feet may use the generalized parking values only if no more than ten percent of gross leasable area occupied by any one or any combination of the following uses:
a.
Bars.
b.
Beer gardens.
c.
Cafes.
d.
Cafeterias.
e.
Cocktail lounges.
f.
Convenience stores.
g.
Night clubs.
h.
Restaurants.
i.
Taverns.
j.
Theaters.
At the discretion of the community development director, shopping centers utilizing the generalized parking values may be required to enter into a covenant or other site plan restriction mandating adherence to this requirement.
(b)
Shopping centers and/or mixed-use developments may apply for approval of shared parking. The petition for shared parking shall include an independent parking study in a form acceptable to the city, which includes but is not limited to, information indicating that the shopping center and/or mixed-use development uses are such that a sufficient disparity in peak demand for parking spaces exists to support the concept of shared parking.
At the discretion of the community development director, shopping centers and/or mixed-use developments utilizing shared parking may be required to enter into a covenant or other site plan restriction restricting the size, mix or location of uses within the shopping center and/or mixed-use development.
(c)
Parking requirements for shopping centers not meeting these criteria shall be calculated on a use by use basis.
801.4.13.
Non-residential: Miscellaneous uses.
(a)
Places of worship. One parking space per four seats in the largest assembly area.
801.4.14.
Calculating required parking spaces.
(a)
Uses not specifically mentioned. The requirements for off-street parking for any uses not specifically listed in this section shall be the same as provided in this section for the use most similar to the one sought, as determined by the community development department.
(b)
Fractional spaces. When units or measurements determining number of required off-street parking spaces result in requirement of fractional space, any such fraction equal to or greater than one-half shall require a full off-street parking space.
(c)
Mixed uses. In the case of mixed uses, the total requirements for off-street parking shall be the sum of the requirements of the various uses computed separately, and off-street parking space for one use shall not be considered as providing the required off-street parking for any other use.
(d)
Measurements.
(1)
For the purposes of this chapter, gross floor area (GFA) shall mean the floor area inside of the exterior walls including elevators, stairwells, common corridors, trash rooms, common lobbies, common restrooms, meter rooms and ancillary power equipment rooms.
(2)
For the purposes of this article, net floor area (NFA) shall mean the floor area inside of the exterior walls excluding elevators, stairwells, common corridors, trash rooms, common lobbies, common restrooms, meter rooms, ancillary power equipment rooms, and all rooms with ceilings less than six feet high.
(3)
For the purposes of this article, total floor area (TFA) shall mean the same as gross floor area.
(4)
In hospitals, bassinets shall not count as beds.
(5)
In stadiums, sport arenas, places of worship and other places of assembly in which occupants utilize benches, pews or other similar seating facilities, each 20 lineal inches of such seating shall be counted as one seat for the purpose of computing off-street parking requirements.
(6)
In outdoor display areas for vehicle sales or rental, only areas designated for vehicle parking shall be measured. Driveway aisles and landscaped medians are not intended to be included in the measured area
801.5.
Use of permitted facilities.
801.5.1.
Permitted use. Parking spaces approved in accordance with this chapter may be used for the intermittent parking of licensed motor vehicles of employees, occupants, owners, tenants or customers utilizing the building or use served by said required parking space. Supplemental parking (parking facilities provided but not required) may be used for any purpose related to the use of the building it serves, subject to the conditions hereinafter set forth.
801.5.2.
Limitations on use of required parking facilities. The following uses and activities shall not be permitted in required parking facilities:
(a)
Parking to serve an off-site building unless in accordance with an off-site parking agreement approved by the city in accordance with this chapter.
(b)
Storage, repair or display of any vehicles, equipment or merchandise, except as may be approved by the city through a temporary use permit.
(c)
Parking of vehicle, which, due to its size, shape, contents or location creates an obstruction, safety hazard or nuisance.
(d)
Parking of vehicles outside of designated parking areas approved on a site plan.
801.6.
Off-street loading.
801.6.1.
General provisions. Adequate space for loading and unloading of materials, goods or things, and for delivery and shipping, shall be provided and maintained on the same plot as the building which it serves.
Where any structure is enlarged or any use is extended so that the size of the resulting occupancy comes within the scope of this section, the full amount of off-street loading space shall be supplied and maintained for the structure or use in its enlarged or extended size. Where the use of a structure or land or any part thereof is changed to a use requiring an off-street loading space, such space shall be supplied and maintained to comply with this section.
For the purposes of this section, an off-street loading space shall be an area at the grade level at least ten feet wide by 25 feet long with a 14-foot vertical clearance. Each off-street loading space shall be directly accessible from a street or alley without crossing or entering any other required loading space, and shall be arranged for convenient and safe ingress and egress by motor truck and/or trailer combination. Such loading space shall also be accessible from the interior of any building it is intended to serve
801.6.2.
Specifications. The following minimum conditions shall apply. Additional conditions may be imposed as part of a conditional use or final site plan approval. Off-street loading spaces shall be provided and maintained in accordance with the following schedule:
(a)
For each retail store, storage warehouse, wholesale establishment, industrial plant, factory, freight terminal, market, restaurant, funeral home, laundry, dry cleaning establishment or similar building or use which has an aggregate gross floor area of:
(b)
Convenience store: One space.
(c)
For each multiple dwelling, hotel or motel which has a number of dwelling or hotel/motel units of:
Such loading spaces shall not be located in the required front yard.
(d)
For each auditorium, convention hall, exhibition hall, museum, hotel, office building, sports arena, stadium, hospital or similar use which has an aggregate gross floor area of:
The loading requirements for any unspecified use shall be that which is required for similar specified uses.
(e)
For each auditorium, convention hall, exhibition hall, museum, hotel, office building, sports arena, stadium, hospital or similar use which has an aggregate gross floor area of:
Over 20,000 square feet but not over 40,000 square feet—One space.
Plus for each additional 60,000 square feet over 40,000 square feet or major fraction thereof—One space. The loading requirements for any unspecified use shall be that which is required for similar specified uses.
(f)
No area or facilities supplied to meet the required off-street parking facilities for a use shall be for, or be deemed to meet, the requirements of this section for off-street loading facilities.
(g)
Nothing in this section shall prevent the collective, joint or combined provision of off-street loading facilities for two or more buildings or uses, provided that such off-street loading facilities are equal in size and capacity to the combined requirements of the several buildings or uses and arranged as to be usable thereby.
(h)
Plans for buildings or uses requiring off-street loading facilities under the provisions of this section shall clearly indicate the location, dimensions, clearances and access of all such required off-street loading facilities.
801.7.
Drive-through service windows. Businesses that provide a drive-through service are required to provide a drive-through service lane or lanes, whether for stacking or queuing, as separate and distinct lanes from the circulation lanes necessary for entering or exiting the property. Each drive-through lane shall be separated from other on-site lanes. Each such drive-through lane shall be curbed, striped, marked or otherwise distinctly delineated. A separate and distinct escape lane shall be provided. A public street or alley shall not be counted as an escape lane. Drive-through lanes and escape lanes shall not conflict, or otherwise hamper access, to or from any parking space. Pedestrian walkways shall be clearly separated from drive-through lanes.
(a)
Specifications. Stacking spaces necessary for the provisions of drive-through lanes shall be determined using the following table. Stacking area shall be provided at the first required stopping area, such as the ordering board of a restaurant. If a second stopping area is required, such as a delivery and cashiering window, auxiliary stacking area shall be provided in the indicated amounts.
(Ord. No. 2011-02, § 4, 4-12-2011; Ord. No. 2020-002, § 6, 5-12-2020)
Editor's note— The figures referenced in this section may be found at the office of the city clerk.
802.1.
Design. Driveway locations, cross-sections and grades shall be installed in accordance with this section, approved engineering plans, and the Florida Building Code as amended from time to time. Driveway access to the street system shall be according to the subdivision design standards, street layout contained in these regulations.
802.2.
Intersection with streets. Driveways for residential lots shall not encroach into the street corner radius of two intersecting streets, or be closer than 25 feet to the intersection of extended right-of-way lines. Driveways for multifamily and nonresidential parking lots shall not intersect a street corner radius, or be closer than 50 feet to the intersection of extended right-of-way lines.
802.3.
Separation between driveways.
(a)
Residential lots. Driveways for single-family residential lots shall be separated by a minimum of ten feet.
(b)
Multifamily and nonresidential parcels. Driveways for multifamily residential parcels and nonresidential parcels on collector roads shall be separated by no less than 150 feet of landscaped frontage. Driveways for multifamily residential parcels and nonresidential parcels on arterial roads shall be separated by no less than 330 feet of landscaped frontage.
802.4.
Maximum width. The maximum width of any driveway measured at the right-of-way line shall not exceed the following:
(a)
Single-family and duplex residential:
(b)
Multifamily residential. Thirty-six feet in width per driveway, except that driveways containing a curbed landscaped median may be permitted up to 48 feet in width per driveway. The total number of driveways allowed shall be limited to the number allowed by the plat, or the approved site plan.
(c)
Non-residential. Thirty-six feet in width per driveway, except that driveways containing a curbed landscaped median may be permitted up to 48 feet in width per driveway. Large shopping centers and large office buildings are permitted driveways up to 48 feet in width per driveway, except that driveways containing a curbed landscaped median may be permitted up to 56 feet in width per driveway. The total number of driveways allowed shall be limited to the number allowed by the plat, or the approved site plan
802.5.
Minimum size. Driveways for single-family and duplex structures in all residentially zoned districts shall have a minimum width of 16 feet and a minimum length of 20 feet providing that such 20 feet shall be clear of sidewalks and roadway easements within the confines of the subject parcel unless otherwise specified in these regulations.
802.6.
Proximity to property lines. Except for, fee simple attached residential, and joint use accessways, driveways shall not be located closer to a property line than the following:
(a)
Single-family and duplex residential.
(i)
Existing units: Two feet.
(ii)
New construction: Five feet.
(b)
Multifamily residential. Ten feet or the bufferyard requirement contained in these regulations, whichever is greater.
(c)
Nonresidential. The width of a required bufferyard, or if no bufferyard is required, ten feet to another nonresidential parcel or 15 feet to a residential parcel.
802.7.
Paving. Driveways shall be paved with a hard, dust-free paving material complying with the Florida Building Code, as amended from time to time. Lots within residential single (RS) family zoning districts, shall utilize Portland concrete material, asphalt, or brick pavers as a minimum for driveways and aprons. In all other zoning districts all driveway connections (aprons) shall be paved with type S-1 asphaltic concrete or other material approved by city's engineer. When repaving residential streets or undertaking drainage or other repairs within a residential swale area, the city will replace driveway aprons with asphaltic material only.
802.8.
Clear sight triangles. All driveways and street intersections shall provide clear sight triangles in both directions as follows:
(a)
Measurement. Clear sight triangles on both sides of all driveways, medians and at all street intersections shall be measured as follows:
(1)
Two major streets. Twenty feet along the right-of-way lines from the intersection of two major streets.
(2)
Major street/local street. Twenty feet along the right-of-way lines from the intersection of a major street with a local street.
(3)
Two local streets. Twenty feet along the right-of-way lines from the intersection of two local streets.
(4)
Driveway/major street. Twenty feet along the right-of-way lines from the intersection of a driveway with a major street.
(5)
Driveway/local street. Ten feet along the right-of-way line from the intersection of a driveway with a local street.
(6)
No parking areas shall be permitted within clear sight triangles.
(b)
Landscaping. The area within any clear sight triangle shall be planted and maintained in a way that provides clear visibility from a height of 30 inches to a height of eight feet above the crown of the street. Vegetation shall be trimmed so that no limbs or foliage extend into the required visibility area.
(Ord. No. 08-33, § 2, 1-13-2009)