Off-Street Parking Regulations2
Editor's note—Sec. 2 of Ord. No. 1122, adopted April 4, 2022, repealed and replaced Art. 8 in its entirety to read as herein set out. Former Art. 8 pertained to the same subject matter, and derived from the prior code; Ord. No. 731, adopted June 17, 2002; and Ord. 956, 2014.
The intent of this Article is to prevent or alleviate congestion of public streets, to minimize detrimental effects of parking on adjacent properties, and to promote the safety and welfare of the public.
(Ord. No. 1122, § 2, 4-4-2022)
(a)
Intent. In all zone districts, the requirement for the provision of off-street parking facilities for the storage of self-propelled motor vehicles for the use of occupants, employees, and patrons of the building or structures hereafter erected, altered or extended shall be provided and maintained as herein prescribed. Nothing herein shall apply to parking facilities owned by the Town nor abrogate the enforcement of parking regulations in accordance with Sections 8-2-10 et seq. and 8-4-10 et seq.
(b)
Surface. All parking and driveway areas and primary access to parking facilities shall be surfaced with asphalt, concrete, or similar materials unless waived by the Board of Trustees.
(c)
Integrate Parking Lots with Surroundings. Parking lots shall not dominate the frontage of pedestrian-oriented streets, interfere with designated pedestrian routes or negatively impact surrounding neighborhoods. The pedestrian character of streets and buildings shall be maximized through continuity of buildings and landscape frontage.
(d)
Location. Parking lots shall be located to the rear or side of buildings or in the interior of a block whenever possible.
(e)
Landscaping. Unless waived by the Board of Trustees, all off-street parking areas with more than ten (10) spaces shall screen said spaces in part from view from adjacent streets by providing either:
(1)
A low three (3) feet to four (4) feet of decorative metal, iron, aluminum, or any other Town of Lyons approved non-combustible material, fence or wall between the required landscape area and the parking lot; or
(2)
Earth mounds of three (3) feet to four (4) feet in height which shall be landscaped, placed between the street and the parking area.
(3)
Alternative methods of screening as approved by the Board of Trustees.
(f)
Share-Access. Where feasible, parking lots shall share access drives with adjacent property with similar land uses.
(g)
Off-Street Parking Design. Any off-street parking area shall be designed so that vehicles may exit without backing onto a public street unless no other practical alternative is available. Off-street parking areas shall be designed and constructed so that parked vehicles do not encroach upon or extend onto public rights-of-way or sidewalks or strike against or damage any wall, vegetation, utility, or other structure including the utilization of parking blocks.
(h)
Circulation Area Design. Circulation areas shall be designed to facilitate the safe movement of vehicles without posing a danger to pedestrians or impeding the function of the parking area.
(i)
Lighting. If a parking area has lighting, all parking area lighting shall be full cutoff-type fixtures and shall be in compliance with the lighting standards promulgated by the Town and in effect at the time of construction. Any light used to illuminate parking areas or for any other purpose shall be so arranged as to reflect the light away from nearby residential properties and away from the vision of passing motorists.
(j)
Shared Off-Street Parking. When there are opportunities to support parking demand through shared off-street parking for compatible uses, a parking study and shared parking agreements shall be used to demonstrate the adequacy of the parking supply as a substitute for standard parking requirements.
(k)
Adjacent On-Street Parking in CD District. In order to promote a pedestrian scale and encourage safety in the CD Commercial Downtown District, parking may be satisfied using adjacent on-street parking or shared rear-lot parking areas. A parking plan and shared parking agreements shall be used to demonstrate the adequacy of the parking supply as a substitute for standard parking requirements. For the purposes of this subsection, "adjacent" shall mean parking which is contiguous with the subject property.
(Ord. No. 1122, § 2, 4-4-2022)
(a)
Paved off-street parking shall be provided according to the minimum requirements as specified below:
(b)
Where a property has multiple uses or is mixed-use, the minimum parking requirement shall be the greater of the requirements for the permitted uses present at the property.
(c)
At a minimum, off-street parking for nonresidential uses shall be sufficient to provide parking for employees of all permitted uses.
(Ord. No. 1122, § 2, 4-4-2022)
(a)
Off-street parking facilities for residential uses shall be provided and located on the same lot as the building they are intended to serve but shall not include parking on lawns.
(b)
The location of required off-street parking facilities for other than residential uses shall be within three thousand (3,000) feet of the building they are intended to serve when measured from the nearest point of the building or structure. Off-street parking may be at a further distance if shuttle, valet, or other method of transporting patrons to and from the off-street parking is provided.
(Ord. No. 1122, § 2, 4-4-2022)
(a)
Accessible parking spaces shall be required for all retail, office, business. industrial and institutional uses, as well as multiple-family units.
(b)
Accessible parking spaces shall be designated as being accessible with painted symbols and identification signs as required by the Americans with Disabilities Act, the Rehabilitation Act, and/or their implementing regulations.
(c)
Accessible parking spaces shall be located as close as possible to the nearest accessible building entrance.
(d)
The number of accessible parking spaces shall be as follows:
For every eight (8) accessible parking spaces, there must be at least one (1) van-accessible space. If there is only one (1) accessible parking space, that space must be van-accessible.
(Ord. No. 1122, § 2, 4-4-2022)
(a)
Parking spaces must be eight (8) feet by eighteen (18) feet with a five-foot-wide access aisle.
(b)
Van-accessible spaces must be eight (8) feet by eighteen (18) feet with an eight-foot-wide access aisle.
(c)
Parking spaces for the disabled that are parallel to a pedestrian walk which is accessible may have the same dimensions as those for standard vehicles.
(Ord. No. 1122, § 2, 4-4-2022)
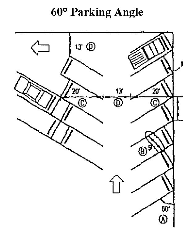
Parking stalls for automobiles shall meet the following standards. AU dimensions represent the minimum requirement for any required parking space.
Parking Stall Dimensions
* Except along local streets, where 7 feet is permitted.
(Ord. No. 1122, § 2, 4-4-2022)
Parking of Commercial Vehicles, Recreational Vehicles, Watercraft, Trailers, Semi-Trailers, and PODs on public streets, Public Right-of-Way, and Town Property shall be governed by the provisions of Section 8-4-10, et seq. unless expressly permitted by the Town.
(Ord. No. 1122, § 2, 4-4-2022; Ord. No. 1190, § 2(Exh. A), 5-19-2025)
The off-street parking standards of this Article shall not apply to a change in use or the creation of a new use for any commercial property fronting upon Main Street between Third Avenue and Fifth Avenue provided that such change in use or new use is a commercial retail use. For purposes of this section, "commercial retail use" shall mean and include any use whose primary or principal activity is the sale of goods, merchandise, or services to the public which sales are subject to state and/or local sales tax. All other uses shall conform to the minimum parking standards of this Article upon change to or creation of to a new use.
(Ord. No. 1122, § 2, 4-4-2022)
Off-Street Parking Regulations2
Editor's note—Sec. 2 of Ord. No. 1122, adopted April 4, 2022, repealed and replaced Art. 8 in its entirety to read as herein set out. Former Art. 8 pertained to the same subject matter, and derived from the prior code; Ord. No. 731, adopted June 17, 2002; and Ord. 956, 2014.
The intent of this Article is to prevent or alleviate congestion of public streets, to minimize detrimental effects of parking on adjacent properties, and to promote the safety and welfare of the public.
(Ord. No. 1122, § 2, 4-4-2022)
(a)
Intent. In all zone districts, the requirement for the provision of off-street parking facilities for the storage of self-propelled motor vehicles for the use of occupants, employees, and patrons of the building or structures hereafter erected, altered or extended shall be provided and maintained as herein prescribed. Nothing herein shall apply to parking facilities owned by the Town nor abrogate the enforcement of parking regulations in accordance with Sections 8-2-10 et seq. and 8-4-10 et seq.
(b)
Surface. All parking and driveway areas and primary access to parking facilities shall be surfaced with asphalt, concrete, or similar materials unless waived by the Board of Trustees.
(c)
Integrate Parking Lots with Surroundings. Parking lots shall not dominate the frontage of pedestrian-oriented streets, interfere with designated pedestrian routes or negatively impact surrounding neighborhoods. The pedestrian character of streets and buildings shall be maximized through continuity of buildings and landscape frontage.
(d)
Location. Parking lots shall be located to the rear or side of buildings or in the interior of a block whenever possible.
(e)
Landscaping. Unless waived by the Board of Trustees, all off-street parking areas with more than ten (10) spaces shall screen said spaces in part from view from adjacent streets by providing either:
(1)
A low three (3) feet to four (4) feet of decorative metal, iron, aluminum, or any other Town of Lyons approved non-combustible material, fence or wall between the required landscape area and the parking lot; or
(2)
Earth mounds of three (3) feet to four (4) feet in height which shall be landscaped, placed between the street and the parking area.
(3)
Alternative methods of screening as approved by the Board of Trustees.
(f)
Share-Access. Where feasible, parking lots shall share access drives with adjacent property with similar land uses.
(g)
Off-Street Parking Design. Any off-street parking area shall be designed so that vehicles may exit without backing onto a public street unless no other practical alternative is available. Off-street parking areas shall be designed and constructed so that parked vehicles do not encroach upon or extend onto public rights-of-way or sidewalks or strike against or damage any wall, vegetation, utility, or other structure including the utilization of parking blocks.
(h)
Circulation Area Design. Circulation areas shall be designed to facilitate the safe movement of vehicles without posing a danger to pedestrians or impeding the function of the parking area.
(i)
Lighting. If a parking area has lighting, all parking area lighting shall be full cutoff-type fixtures and shall be in compliance with the lighting standards promulgated by the Town and in effect at the time of construction. Any light used to illuminate parking areas or for any other purpose shall be so arranged as to reflect the light away from nearby residential properties and away from the vision of passing motorists.
(j)
Shared Off-Street Parking. When there are opportunities to support parking demand through shared off-street parking for compatible uses, a parking study and shared parking agreements shall be used to demonstrate the adequacy of the parking supply as a substitute for standard parking requirements.
(k)
Adjacent On-Street Parking in CD District. In order to promote a pedestrian scale and encourage safety in the CD Commercial Downtown District, parking may be satisfied using adjacent on-street parking or shared rear-lot parking areas. A parking plan and shared parking agreements shall be used to demonstrate the adequacy of the parking supply as a substitute for standard parking requirements. For the purposes of this subsection, "adjacent" shall mean parking which is contiguous with the subject property.
(Ord. No. 1122, § 2, 4-4-2022)
(a)
Paved off-street parking shall be provided according to the minimum requirements as specified below:
(b)
Where a property has multiple uses or is mixed-use, the minimum parking requirement shall be the greater of the requirements for the permitted uses present at the property.
(c)
At a minimum, off-street parking for nonresidential uses shall be sufficient to provide parking for employees of all permitted uses.
(Ord. No. 1122, § 2, 4-4-2022)
(a)
Off-street parking facilities for residential uses shall be provided and located on the same lot as the building they are intended to serve but shall not include parking on lawns.
(b)
The location of required off-street parking facilities for other than residential uses shall be within three thousand (3,000) feet of the building they are intended to serve when measured from the nearest point of the building or structure. Off-street parking may be at a further distance if shuttle, valet, or other method of transporting patrons to and from the off-street parking is provided.
(Ord. No. 1122, § 2, 4-4-2022)
(a)
Accessible parking spaces shall be required for all retail, office, business. industrial and institutional uses, as well as multiple-family units.
(b)
Accessible parking spaces shall be designated as being accessible with painted symbols and identification signs as required by the Americans with Disabilities Act, the Rehabilitation Act, and/or their implementing regulations.
(c)
Accessible parking spaces shall be located as close as possible to the nearest accessible building entrance.
(d)
The number of accessible parking spaces shall be as follows:
For every eight (8) accessible parking spaces, there must be at least one (1) van-accessible space. If there is only one (1) accessible parking space, that space must be van-accessible.
(Ord. No. 1122, § 2, 4-4-2022)
(a)
Parking spaces must be eight (8) feet by eighteen (18) feet with a five-foot-wide access aisle.
(b)
Van-accessible spaces must be eight (8) feet by eighteen (18) feet with an eight-foot-wide access aisle.
(c)
Parking spaces for the disabled that are parallel to a pedestrian walk which is accessible may have the same dimensions as those for standard vehicles.
(Ord. No. 1122, § 2, 4-4-2022)
Parking stalls for automobiles shall meet the following standards. AU dimensions represent the minimum requirement for any required parking space.
Parking Stall Dimensions
* Except along local streets, where 7 feet is permitted.
(Ord. No. 1122, § 2, 4-4-2022)
Parking of Commercial Vehicles, Recreational Vehicles, Watercraft, Trailers, Semi-Trailers, and PODs on public streets, Public Right-of-Way, and Town Property shall be governed by the provisions of Section 8-4-10, et seq. unless expressly permitted by the Town.
(Ord. No. 1122, § 2, 4-4-2022; Ord. No. 1190, § 2(Exh. A), 5-19-2025)
The off-street parking standards of this Article shall not apply to a change in use or the creation of a new use for any commercial property fronting upon Main Street between Third Avenue and Fifth Avenue provided that such change in use or new use is a commercial retail use. For purposes of this section, "commercial retail use" shall mean and include any use whose primary or principal activity is the sale of goods, merchandise, or services to the public which sales are subject to state and/or local sales tax. All other uses shall conform to the minimum parking standards of this Article upon change to or creation of to a new use.
(Ord. No. 1122, § 2, 4-4-2022)