INDIAN RIVER CITY NEIGHBORHOOD ZONING
(a)
Purpose and intent. The Indian River City Neighborhood zoning district is created to implement the goals, objectives, and recommendations of the Indian River City Neighborhood Plan, adopted by the City of Titusville on March 27, 2012, by Resolution 8-2012. The overall purpose of this zoning district is to promote single-family uses in the core residential area of the community while providing for a mixed-use commercial area along the major commercial corridors of the neighborhood. The regulations are intended to provide for a compatible buffering between commercial and residential areas, as well as to phase out incompatible uses in the core residential area that have negatively impacted the neighborhood over time.
(b)
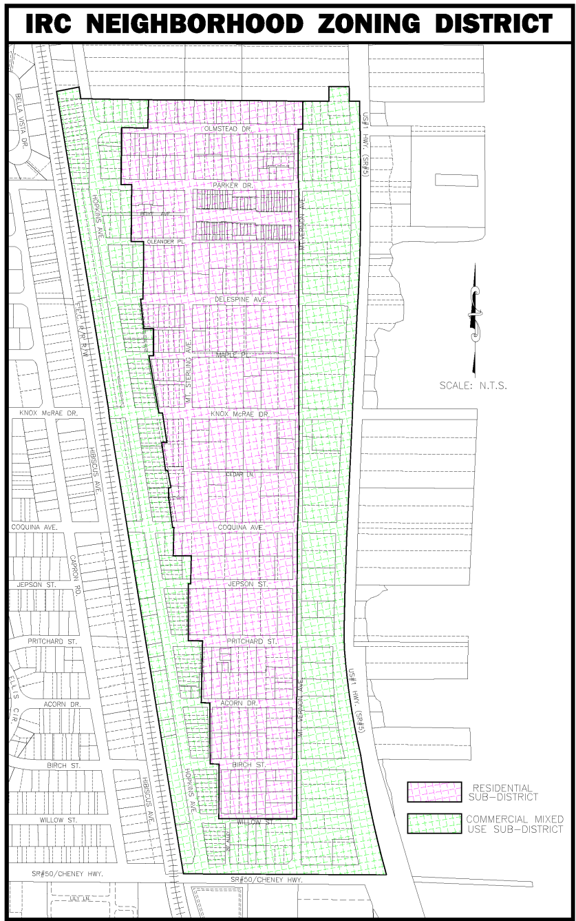
Sub-districts established. The Indian River City Neighborhood Zoning District has two (2) sub-districts, each with separate uses and regulations. The Commercial Mixed-Use Sub-District is generally located on properties with direct access to Washington Avenue and Hopkins Avenue. The Residential Sub-District is generally located within the interior of the neighborhood and is described in the Indian River City Neighborhood Plan as the "Core Residential Area." It is the clear intention of the City that the boundaries established for the single-family "Core Residential Area" are firm and shall not be changed unless the City has gone through the appropriate process of changing the IRC Neighborhood Plan to justify the changes. The Sub-District boundaries are provided in the Map below:
(c)
Nonconforming uses. Social services, within the IRCN zoning classification shall be defined as public, not-for-profit or private business or use that provides services to persons including, but not limited to, food provisions, emergency or short-term housing services, and employment services, excluding community residential homes as defined by Section 419.001, Florida Statutes. These services shall be governed by Chapter 34, Article VII. Any existing Social Services shall be considered lawful nonconforming uses and shall not be allowed to expand. The existing social service at 4050 Coquina Avenue (Liberty Lodge) shall be allowed to continue and may be rebuilt in the event that structure is damaged more than fifty (50) percent.
(d)
Exhibit A below, illustrates the multifamily dwelling designated as 4230 Mt. Vernon Avenue.
(e)
Permitted and conditional uses of the Light Industrial Services and Warehousing (M-1) zoning district may be permitted provided the following conditions are met:
(1)
Must be on property with an approved industrial use existing as of August 12, 2012 (effective date of Ord. 25-2012).
(2)
Uses which require a Conditional Use Permit (CUP) within the M-1 zoning district shall require a CUP and shall meet all criteria of the specified use.
(f)
Any nonresidential use in the IRCN-C district not listed shall be considered by Conditional Use Permit. All nonresidential uses permitted by conditional use under this provision may have other requirements as approved by the City to protect the interests of surrounding properties. The CUP shall, at a minimum, meet the criteria below:
(1)
The property shall provide appropriate screening and buffering, such as fencing and landscaping.
(2)
The use shall be compatible with the surrounding area, specifically with providing appropriate on-site parking provisions and limited noise.
(3)
The structure/building must be architecturally compatible with the surrounding residential structures.
(Ord. No. 31-2017, § 8, 10-24-17; Ord. No. 31-2021, § 2, 11-9-21)
INDIAN RIVER CITY NEIGHBORHOOD ZONING
(a)
Purpose and intent. The Indian River City Neighborhood zoning district is created to implement the goals, objectives, and recommendations of the Indian River City Neighborhood Plan, adopted by the City of Titusville on March 27, 2012, by Resolution 8-2012. The overall purpose of this zoning district is to promote single-family uses in the core residential area of the community while providing for a mixed-use commercial area along the major commercial corridors of the neighborhood. The regulations are intended to provide for a compatible buffering between commercial and residential areas, as well as to phase out incompatible uses in the core residential area that have negatively impacted the neighborhood over time.
(b)
Sub-districts established. The Indian River City Neighborhood Zoning District has two (2) sub-districts, each with separate uses and regulations. The Commercial Mixed-Use Sub-District is generally located on properties with direct access to Washington Avenue and Hopkins Avenue. The Residential Sub-District is generally located within the interior of the neighborhood and is described in the Indian River City Neighborhood Plan as the "Core Residential Area." It is the clear intention of the City that the boundaries established for the single-family "Core Residential Area" are firm and shall not be changed unless the City has gone through the appropriate process of changing the IRC Neighborhood Plan to justify the changes. The Sub-District boundaries are provided in the Map below:
(c)
Nonconforming uses. Social services, within the IRCN zoning classification shall be defined as public, not-for-profit or private business or use that provides services to persons including, but not limited to, food provisions, emergency or short-term housing services, and employment services, excluding community residential homes as defined by Section 419.001, Florida Statutes. These services shall be governed by Chapter 34, Article VII. Any existing Social Services shall be considered lawful nonconforming uses and shall not be allowed to expand. The existing social service at 4050 Coquina Avenue (Liberty Lodge) shall be allowed to continue and may be rebuilt in the event that structure is damaged more than fifty (50) percent.
(d)
Exhibit A below, illustrates the multifamily dwelling designated as 4230 Mt. Vernon Avenue.
(e)
Permitted and conditional uses of the Light Industrial Services and Warehousing (M-1) zoning district may be permitted provided the following conditions are met:
(1)
Must be on property with an approved industrial use existing as of August 12, 2012 (effective date of Ord. 25-2012).
(2)
Uses which require a Conditional Use Permit (CUP) within the M-1 zoning district shall require a CUP and shall meet all criteria of the specified use.
(f)
Any nonresidential use in the IRCN-C district not listed shall be considered by Conditional Use Permit. All nonresidential uses permitted by conditional use under this provision may have other requirements as approved by the City to protect the interests of surrounding properties. The CUP shall, at a minimum, meet the criteria below:
(1)
The property shall provide appropriate screening and buffering, such as fencing and landscaping.
(2)
The use shall be compatible with the surrounding area, specifically with providing appropriate on-site parking provisions and limited noise.
(3)
The structure/building must be architecturally compatible with the surrounding residential structures.
(Ord. No. 31-2017, § 8, 10-24-17; Ord. No. 31-2021, § 2, 11-9-21)