(Article 14 added by Ordinance 98-04, 5-4-98)
As used in Article 14, unless the context requires otherwise, the following word shall have the meaning indicated:
ADJACENT: Any lot abutting the subject parcel (including all tax lots included as part of the subject parcel development) excluding rights-of-way. (Section 14.001 added by Ord 15-09, 12-7-2015)
HEIGHT, TOP OF BANK: For over-water / shoreline construction, top of bank shall be measured from the existing lowest point along the top of the shoreline adjacent to the subject property prior to any grading and/or fill. Features such as railings, balustrades, dolphins, bumper pilings, mooring pilings, and water navigational fixtures are exempt from the maximum “top of bank” height restriction as “water-dependent” features. (Added by Ord 19-14, 10-21-2019)
RIVER TRAIL: The entire width of the railbanked former railroad right-of-way property and/or easements, including the improved portions of the trail along the Columbia River, not just the improved portions of the Trail. The former railroad right-of-way property is generally 50’ wide in most areas but may include larger areas. The portion of the River Trail between 6th Street and 17th Street is also referred to as the River Walk. (Added by Ord 19-06, 7-1-2019)
SHOULD: A requirement, unless it can be shown that to comply with the requirement would be unreasonable, impractical, or unfeasible. Economic hardship alone shall not be justification for noncompliance with the requirement, but may be considered in conjunction with other reasons for noncompliance. (Section 14.001 added by Ord 15-09, 12-7-2015)
VIEW CORRIDOR: The unobstructed line of site of an observer looking toward an object of significance to the community such as the River, historic site, ridgeline, etc. A view corridor shall be free of structural encroachments. Parking within a view corridor is allowed unless otherwise specified. (Added by Ord 19-14, 10-21-2019)
(Section 14.001 added by Ord 15-09, 12-7-2015)
This article shall control in the event of a conflict with other sections of the Astoria Development Code.
The provisions of the Gateway and Riverfront Vision Overlay Zones shall apply to all new construction or major renovation as noted in the specific code Sections, unless otherwise specified by the provisions in the Sections and as follows:
The purpose of the Gateway Overlay Zone is to implement the concepts and guidelines of the Astoria Gateway Master Plan, dated April 1997. The Gateway Overlay Zone is intended to be an intensively developed, mixed-use area which complements Downtown Astoria and the community as a whole.
(Section 14.010 renumbered to 14.001 by Ord 15-09, 12-7-2015)
The Design Review Guidelines shall apply to all new construction or major renovation. For the purposes of this Code Section, "major renovation" is defined as construction valued at 33% or more of the assessed value of the existing structure. The guidelines are intended to provide fundamental principles that will assist in the review of the propsed development. The principles identify both "encouraged" and "discouraged" architectural elements. They are broad design objectives and are not to be construed as prescriptive standards.
Due to the critical regional importance of Columbia Memorial Hospital, current understanding of the implications of the Cascadia seismic and tsunami events, and updated seismic and resiliency requirements, Health Care related uses in the Health Care zone are exempt from the Design Review and Use standards of the Gateway Overlay zone.
The following standards are applicable to all uses within the Gateway Overlay Zone except as noted in Section 14.030.F below. (Section 14.030 amended by Ord 19-06, 7-1-2019)
The purpose of the Civic Greenway Overlay Zone is to implement the land use principles of the Astoria Riverfront Vision Plan, dated December 2009, as they pertain to the Civic Greenway Plan Area. The Civic Greenway Overlay (CGO) Zone is intended to protect views of and access to the Columbia River, provide for an enhance open space and landscaping, support water-dependent uses consistent with Astoria’s working waterfront, and encourage modest scale housing in areas recommended for residential use. The CGO Zone extends from approximately 16th Street to 41st Street and between Marine Drive and the Columbia River as depicted on the City’s Zoning Map.
The provisions of the Civic Greenway Overlay Zone shall apply to all new construction or major renovation, where “major renovation” is defined as construction valued at 33% or more of the assessed value of the existing structure, unless otherwise specified by the provisions in this Section.
Review of applications in the Civic Greenway Overlay Zone is subject to the administrative procedures and approval of the Community Development Director established in Article 9.
The following uses and activities and their accessory uses and activities are permitted in the Civic Greenway Overlay Zone, if permitted outright in the base zone for the site, and subject to the other appropriate development provisions of this Section.
(Section 14.045 added by Ord 13-09, 10-6-14)
The following uses and activities and their accessory uses and activities are permitted in the Civic Greenway Overlay Zone as Conditional Uses, if permitted as a Conditional Use in the base zone for the site, and when authorized in accordance with Article 11, Conditional Uses. These uses and activities are also subject to the other appropriate development provisions of this Section. It must also be shown that these uses and activities are consistent with the purpose of the Civic Greenway Overlay Zone.
(Section 14.050 added by Ord 13-09, 10-6-14)
The following development standards apply to overwater development in the Civic Greenway Overlay Zone. The Overwater Development standards shall also apply to on-land development north of the River Trail between 19th and 41st Streets.
Maintenance, repair, or restoration of buildings existing prior to 2013 shall be exempt from the standards of this Section 14.055. Additions and/or new construction on these buildings shall be subject to these standards.
(Section 14.055 amended by Ord 19-06, 7-1-2019)
(Section 14.055 added by Ord 13-09, 10-6-14)
The following development standards apply to on-land development in the Civic Greenway Overlay Zone south of the River Trail. The Overwater Development standards shall apply to on-land development north of the River Trail / 50’ wide railroad line property. (Section 14.060 amended by Ord 19-06, 7-1-2019)
(Section 14.060 added by Ord 13-09, 10-6-14)
The property situated approximately between 35th Street to the west, 41st Street to the east, the pierhead line to the north, and Marine Drive/Lief Erikson Drive to the south, shall constitute a subarea within the Civic Greenway Overlay Zone. The purpose of this subarea is to permit adoption of development standards, known as a Plan District, not applicable to other properties in the Civic Greenway Overlay Zone. If approved under the criteria of section 14.061(A) the plan district shall be known as the East Basin Plan District.
(Section 14.061 added by Ord 13-09, 10-6-14)
(Reserved for codifying future Plan District regulations.)
(Section 14.063 to 14.064 added by Ord 13-09, 10-6-14)
(Section 14.065 added by Ord 13-09, 10-6-14)
(Section 14.070 added by Ord 13-09, 10-6-14)
(Ord 13-09, 10-6-14; Ord.15-03, 6-15-15
)
The purpose of the Bridge Vista Overlay Zone is to implement the land use principles of the Astoria Riverfront Vision Plan, dated December 2009, as they pertain to the Bridge Vista Area. The Bridge Vista Overlay (BVO) Zone is intended to serve objectives including supporting water-dependent and water-related uses and new uses consistent with Astoria’s working waterfront; encouraging design that is compatible with the area’s historic and working waterfront character; protecting views of and access to the Columbia River; enhancing open space and landscaping, particularly adjacent to the River Trail; strengthening the pedestrian orientation and gateway characteristics of the area; and allowing for commercial and residential uses that complement the Downtown core and support other planning objectives for the area. The BVO Zone extends from approximately the West Mooring Basin to 2nd Street and between West Marine Drive / Marine Drive and the northern edge of overwater parcels on the Columbia River, as shown in the City’s Zoning Map.
(Section 14.085 added by Ord 15-03, 6-15-15)
The provisions in Sections 14.085 to 14.125 apply all uses in all areas of the Bridge Vista Overlay Zone unless indicated otherwise in Table 14.090-1 and in the individual sections.
Table 14.090-1: Applicability of Bridge Vista Overlay Zone Code Sections
| Code Section | Applicability |
| Section 14.095 Uses
Prohibited for Overwater Development | • Aquatic Zones
• Shoreland Zones |
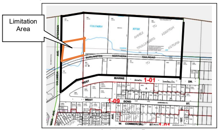
| Section 14.100
Standards for Overwater Development | Limitation Areas (Figure 14.100-1) – overwater and land north of the River Trail / 50’ wide railroad line property |
| Section 14.105 Uses
Permitted for On-Land Development | • Pedestrian-Oriented District (Figure 14.105-2)
• C-3 Zone |
| Section 14.110 Uses
Prohibited for On-Land Development | • Pedestrian-Oriented District (Figure 14.105-2)
• C-3 Zone |
| Section 14.113 Standards for On-Land Development | Minimum Setbacks
• North/south Rights-of-way between West Marine Drive / Marine Drive and Columbia River
• Adjacent to River Trail • Adjacent to West Marine Drive / Marine Drive and Other Rights-of-Way Parallel to West Marine Drive / Marine Drive (except River Trail) Maximum Setbacks • Adjacent to West Marine Drive / Marine Drive and Parallel Rights-of-Way Stepbacks • All Overlay Zone Adjacent to Rights-of-Way Size |
| Section 14.115 Design Guidelines and
Standards | Building Style and Form
• Standards for Projecting Wall-Mounted Mechanical Units Visible from Public Right-of-Way or River Trail
• Guidelines for All Uses, All Overlay Zone Adjacent to Rights-of-Way (except West Marine Drive / Marine Drive)
Roof Form and Materials • Form Standards for All Uses • Materials Standards for All Uses • Form Standards for Non-Industrial Uses • Form Standards and Guidelines for Industrial Uses Doors • Standards for All Uses • Guidelines for All Uses • Standards for Non-Industrial Uses • Guidelines for Non-Industrial Uses Windows • Coverage Standards for All Uses • Design Standards for All Uses • Design Guidelines for All Uses • Coverage Standards for Non-Industrial Uses in Pedestrian-Oriented District • Coverage Standards for Non-Industrial Uses Outside Pedestrian-Oriented District • Coverage Standards for Industrial Uses Siding and Wall Treatment • Standards for All Uses • Guidelines for All Uses Awnings • Standards for Types of Awnings/Treatments for All Uses • Guidelines for Types of Awnings/Treatments for All Uses • Standards Along River Trail and North/South Rights-of-Way Lighting • Standards for All Uses • Guidelines for All Uses Signs • Standards for All Uses in Pedestrian-Oriented District |
| Section 14.120 Landscaping | River Side/Riparian
Land Side/Upland
Street Trees
• All Street Trees
• North-South Rights-of-Way Between West Marine Drive / Marine Drive and Columbia River |
| Section 14.125 Off-Street Parking | In Pedestrian-Oriented District
• Small Floor Area
• Buildings Covering Site
• Small Building Expansions |
Figure 14.090-1: Limitation Area
Figure 14.090-2, Pedestrian-Oriented District
(Figure 14.090-2 amended by Ord 19-06, 7-1-2019)
The provisions of the Bridge Vista Overlay Zone shall apply to all new construction or major renovation, where “major renovation” is defined as construction valued at 33% or more of the assessed value of the existing structure, unless otherwise specified by the provisions in this Section. Applications in the Bridge Vista Overlay Zone shall be reviewed in a public design review process subject to the standards and guidelines in Sections 14.095 to 14.125.
(Section 14.090 added by Ord 15-03, 6-15-15)
(Section 14.095 title amended by Ord 19-06, 7-1-2019)
(Section 14.095 added by Ord 15-03, 6-15-15)
(Section 14.100 added by Ord 15-03, 6-15-15)
(Section 14.105 added by Ord 15-03, 6-15-15)
(Section 14.110 added by Ord 15-03, 6-15-15)
The following development standards apply to on-land development in the Bridge Vista Overlay Zone south of the River Trail. The Overwater Development standards shall apply to on-land development north of the River Trail. (Section 14.113 amended by Ord 19-06, 7-1-2019; amended by Ord 19-14, 10-21-2019)
(Section 14.113 added by Ord 15-03, 6-15-15)
(Ord 19-06, 7-1-2019; Ord.15-03, 6-15-15)
(Section 14.115 added by Ord 15-03, 6-15-15)
Landscaping is required in the Bridge Vista Overlay Zone in accordance with the provisions in this Section and those in Section 3.120 to 3.125. The provisions in this Section apply to new construction or exterior renovations with a value of at least 33% of the assessed value of the structure,.
(Section 14.120 added by Ord 15-03, 6-15-15)
In the Pedestrian-Oriented District in the Bridge Vista Overlay Zone (Figure 14.090-2), the following provisions apply to parking requirements established in Article 7 of this Code.
(Section 14.122 renumbered from 14.125 by Ord 19-14, 10-21-2019)
A. Purpose
The West Mooring Basin Plan District provides for a unique level of mixed-use development including commercial, employment, institutional, and recreational uses. The purpose of the plan district is to implement the principles and enable the framework shown in the "Port of Astoria Waterfront Master Plan" (2022). Objectives of the plan district include encouraging on-land development appropriate for the riverfront setting and preserving unique resources. Where they conflict, allowances and limitations of the plan district take precedence over those of the base and overlay zones.
B. Plan District Boundary
The Property situated approximately between Portway Avenue to the west, Bay Street to the east, pierhead line to the north, and West Marine Drive to the south, shall constitute a subarea within the Bridge Vista Overlay Zone. This area is known as the Port of Astoria West Mooring Basin Plan District.
The over-water area within the Plan District shall not be subject to
Figure 14.125-1: West Mooring Basin Plan District Boundaries
changes from the approved Bridge Vista Overlay uses, standards, and/or requirements. The boundaries of the Port of Astoria West Mooring Basin Plan District are illustrated on a map referenced below.
C. Applicability
The following development standards apply to all new construction or major renovation, where "major renovation" is defined as construction valued at 25% or more of the assessed value of the existing structure. The Bridge Vista Overlay standards and requirements shall be applicable unless otherwise noted in the Plan District standards.
D. Procedures
An application for a specific project within the Plan District is processed as a Type III review as described in Section 9.010 and in accordance with the Development Code.
E. Uses
The following uses and activities and their accessory uses and activities are permitted or conditional for on-land development in any zone within the West Mooring Basin Plan District unless noted. These uses are in addition to those permitted uses in the base zone, as identified in Article 2, and subject to the other appropriate development provisions of this Section. Prohibitions described in Section 14.095.B and 14.110 apply.
F. Development Standards
The following development standards apply to on-land development in the West Mooring Basin Plan District. Unless otherwise noted, all other standards and guidelines of the base zone and/or Bridge Vista Overlay Zone are applicable.
1. Building Height
2. Building Size
Notwithstanding the provisions of Section 14.113.D there is no limit on the square footage of a proposed building so long as it meets dimensional standards for height and setbacks, except within the Fishing Village subarea,
3. Building Orientation
Notwithstanding the provisions of Section 14.113.E there are no restrictions on the orientation of buildings.
4. Building Separation
Notwithstanding the provisions of Section 14.113.B.3 buildings on the same lot shall have no minimum required setbacks between building, except within the Fishing Village subarea. River Trai setbacks still apply.
5. Lot coverage
Notwithstanding the provisions of Section 14.113.F, there is no restriction on lot coverage.
6. View Corridors
a. Fishing Village View Corridors
Additional development restrictions apply to the "Fishing Village" area of the Plan District, as described in Section 14.125. This subarea is situated among the south end of the West Mooring Basin approximately between Port of Astoria "E" Dock to the west, Port of Astoria "A" Dock to east, the southern edge of the West Mooring Basin Boat Docks to the north, and Industry Street to the south, shown in Figure 14.125-2. This property shall constitute a subarea within the West Mooring Basin Plan District called the Fishing Village. The east-west width of the Fishing Village is approximately 530 feet.
Figure 14.125-2: Fishing Village Boundaries

Additional restrictions in the "Fishing Village" are intended to create view corridors from the River Trail toward the marina and Columbia River, and allow smaller-scale development consistent with the Port of Astoria Waterfront Master Plan, Within this sub-area the following standards apply.
A minimum of 200 feet of unobstructed view corridor shall be preserved along the east-west dimension of the Fishing Village area. The cumulative width of structures along the east-west dimension in the Fishing Village area shall not exceed 330 feet. The precise location of view corridors between buildings may vary, as long as a cumulative minimum of 200 feet of open views is maintained toward the marina and River.
b. Bay Street View Corridor
A minimum view corridor width of 50 feet shall be established, centered on the Bay Street right of way, between West Marine Drive and the Columba River pierhead. This corridor shall be free of structural encroachments, per the definition in Section 14.001.
Figure 14.125-3: Bay Street View Corridor

(Section 14.125 added by Ord 19-14, 10-21-2019)
The property situated approximately between Columbia Avenue to the west, 1st Street to the east, the top of bank to the north, and West Marine Drive to the south, shall constitute a subarea within the Bridge Vista Overlay Zone. The purpose of this subarea is to permit adoption of development standards, known as a Plan District, not applicable to other properties in the Bridge Vista Overlay Zone. If approved under the criteria of Section 14.127.A, the Plan District shall be known as the Astoria Warehouse Plan District.
(Section 14.127 added by Ord 19-14, 10-21-2019)
(Reserved for codifying future Plan District regulations.)
(Section 14.128 and 14.129 added by Ord 19-14, 10-21-2019)
The purpose of the Neighborhood Greenway Overlay Zone is to implement the land use principles of the Astoria Riverfront Vision Plan, dated December 2009, as they pertain to the Neighborhood Greenway Plan Area. The Neighborhood Greenway Overlay (NGO) Zone is intended to protect views of and access to the Columbia River, provide for an enhance open space and landscaping, support limited water-dependent uses consistent with Astoria’s working waterfront. The NGO Zone extends from approximately 41st Street to the east side of Alderbrook neighborhood at approximately 54th Street and between Lief Erikson Drive and the pier head line of the Columbia River as depicted on the City’s Zoning Map.
(Section 14.130 added by Ordinance 15-09, 12-7-2015)
The provisions of the Neighborhood Greenway Overlay Zone shall apply to all new construction or major renovation, where “major renovation” is defined as construction valued at 33% or more of the assessed value of the existing structure, unless otherwise specified by the provisions in this Ordinance.
Review of applications in the Neighborhood Greenway Overlay Zone is subject to the administrative procedures and approval of the Community Development Director established in Article 9.
Outright and Conditional uses within the Neighborhood Greenway Overlay Zone shall be limited to allowable uses in the A-4 Zone (Aquatic Natural) with the following exceptions:
(Section 14.132 added by Ordinance 15-09, 12-7-2015)
The following development standards apply to overwater development in the Neighborhood Greenway Overlay Zone. The Overwater Development standards shall also apply to on-land development north of the River Trail between 41st Street and approximately 54th Street.
Maintenance, repair, or restoration of buildings existing prior to 2002 (See Section 2.585.N and 14.132.1) shall be exempt from the standards of this Section. Additions and/or new construction on these buildings shall be subject to these standards. (Section 14.133 amended by Ord 19-06, 7-1-2019)
(Section 14.133 added by Ordinance 15-09, 12-7-2015)
(Section 14.134 added by Ordinance 15-09, 12-7-2015)
(Section 14.135 added by Ordinance 15-09, 12-7-2015)
(Section 14.137 added by Ordinance 15-09, 12-7-2015)
Landscaping is required in the Neighborhood Greenway Overlay Zone in accordance with the provisions in this Section and those in Section 3.120 to 3.125. The provisions in this Section apply to new construction or exterior renovations with a value of at least 33% of the assessed value of the structure..
(Section 14.138 added by Ordinance 15-09, 12-7-2015)
The purpose of the Uniontown Overlay Zone is to implement the land use principles of the Astoria Uniontown Reborn Master Plan, dated [plan adoption date] and address policy direction from the Astoria Planning Commission and City Council for this area. The Uniontown Overlay (UTO) Zone is intended to meet and balance multiple objectives, including creating an attractive western gateway into the City; developing a pedestrian-friendly commercial district; expanding the tree canopy and enhancing site landscaping; encouraging design of new or rehabilitated buildings that respects the character of the City and the Uniontown-Alameda National Register Historic District; and allowing a mix of uses that support a vibrant commercial corridor, new investment, and employment opportunities. The boundaries of the UTO Zone are depicted on the City’s Zoning Map.
(Section 14.145 added by Ord 19-11, 10-7-2019)
The following uses and activities and their accessory uses and activities are permitted outright in the Uniontown Overlay Zone, in addition to uses permitted outright in the base zone identified in Article 2, and subject to the other appropriate development provisions of this Section.
(Section 14.149 added by Ord 19-11, 10-7-2019)
(Section 14.150 added by Ord 19-11, 10-7-2019)
The following development standards apply to development in the Uniontown Overlay Zone.
This provision shall apply only to utility lines to be installed for new construction. Utility lines, including, but not limited to, electricity, communications, street lighting and cable television, shall be required to be placed underground. Appurtenances and associated equipment such as surface-mounted transformers, pedestal-mounted terminal boxes and meter cabinets may be placed above the ground, and shall be screened by sight obscuring fences and/or dense landscape buffers. The Design Review Committee may waive the requirements of this section if topographical, soil, or other conditions make such underground installations or screening of above ground equipment unreasonable or impractical. The applicant shall make all necessary arrangements with the serving utility or agency for underground installations provided hereunder; all such installations shall be made in accordance with the tariff provisions of the utility, as prescribed by the State Public Utilities Commission.
(Section 14.155 added by Ord 19-11, 10-7-2019)
(Section 14.158 added by Ord 19-11, 10-7-2019)
Landscaping is required in the Uniontown Overlay Zone in accordance with the provisions in this Section and those in Sections 3.120 to 3.125, and 7.170. The provisions in this Section apply to new construction or exterior renovations with a value of at least 33% of the assessed value of the structure, or in the event of installation of new parking areas.
(Section 14.160 added by Ord 19-11, 10-7-2019)
In the Uniontown Overlay Zone, the following provisions apply to parking requirements established in Article 7 of this Code.
(Section 14.163 added by Ord 19-11, 10-7-2019)
The purpose of the Urban Core Overlay Zone is to implement the land use principles of the Astoria Riverfront Vision Plan, dated December 2009, as they pertain to the Urban Core Area. The Urban Core Overlay (UCO) Zone is intended to meet and balance multiple objectives, including promoting the urban character of the area and allowing for dense development; encouraging design of new or rehabilitated buildings that respects Astoria’s character; protecting views of and access to the Columbia River; creating intimate open spaces and gathering places within new developments; maximizing existing open areas over the water; and allowing for a mix of commercial, residential, and water dependent uses that supports the downtown core. The UCO Zone extends from approximately 2nd Street to 16th Street, from the pierhead line to Marine Drive, and to Commercial Street between 8th and 16th Streets, as shown in the City’s Zoning Map.
(Section 14.175 added by Ord 20-02, 1-21-2020)
| Code Section | Applicability |
| Section 14.180 Uses Prohibited for Overwater Development | • Aquatic Zones |
| Section 14.183 Standards for Overwater Development | Limitation Areas (Figure 14.178-1) – overwater and land north of the River Trail
Minimum Setbacks • North/south Rights-of-way between Marine Drive and Columbia River • Adjacent to River Trail |
| Section 14.185 Uses Permitted for On-Land Development | • C-3 and C-4 Zones |
| Section 14.188 Uses Prohibited for On-Land Development | • C-3 and C-4 Zones |
| Section 14.190 Standards for On-Land
Development | Minimum Setbacks
• North/south Rights-of-way between Marine Drive / Commercial Street and Columbia River
• Adjacent to River Trail
• Adjacent to Marine Drive and Other Rights-of-Way Parallel to Marine Drive (except River Trail)
Maximum Setbacks • Adjacent to Marine Drive and Parallel Rights-of-Way Stepbacks • All Overlay Zone Adjacent to Rights-of-Way and River Trail Size • All Overlay Zone |
| Section 14.195 Design Guidelines and
Standards | Building Style and Form
• Standards for Projecting Wall-Mounted Mechanical Units Visible from Public Right-of-Way or River Trail
• Guidelines for All Uses, All Overlay Zone
Roof Form and Materials • Form Standards for All Uses • Materials Standards for All Uses • Form Standards for Non-Industrial Uses • Form Standards and Guidelines for Industrial Uses Doors • Standards for All Uses • Guidelines for All Uses • Standards for Non-Industrial Uses • Guidelines for Non-Industrial Uses Windows • Coverage Standards for All Uses • Design Standards for All Uses • Design Guidelines for All Uses • Coverage Standards for Non-Industrial Uses • Coverage Standards for Industrial Uses Siding and Wall Treatment • Standards for All Uses • Guidelines for All Uses Awnings • Standards for Types of Awnings/Treatments for All Uses • Guidelines for Types of Awnings/Treatments for All Uses • Standards Along River Trail and North/South Rights-of-Way Lighting • Standards for All Uses • Guidelines for All Uses Signs • Standards for All Uses |
| Section 14.200 Landscaping | River Side/Riparian
Land Side/Upland
Street Trees
• All Street Trees
• North-South Rights-of-Way Between Marine Drive / Commercial Street and Columbia River |
(Section 14.178 added by Ord 20-02, 1-21-2020)
(Section 14.180 added by Ord 20-02, 1-21-2020)
(Section 14.183 added by Ord 20-02, 1-21-2020)
(Section 14.185 added by Ord 20-02, 1-21-2020)
(Section 14.188 added by Ord 20-02, 1-21-2020)
The following development standards apply to on-land development in the Urban Core Overlay Zone.
(Section 14.190 added by Ord 20-02, 1-21-2020)
(Section 14.195 added by Ord 20-02, 1-21-2020)
Landscaping is required in the Urban Core Overlay Zone in accordance with the provisions in this Section and those in Section 3.120 to 3.125. The provisions in this Section apply to new construction or exterior renovations with a value of at least 33% of the assessed value of the structure. Buildings existing prior to January 1, 2020 that cover more than 90% of a lot are exempt from meeting landscape requirements when making renovations.
(Section 14.200 added by Ord 20-02, 1-21-2020)
This overlay district establishes additional requirements for shoreland areas adjacent to the Columbia River Estuary to assure that estuary shorelands are managed in a way that is compatible with adjacent estuarine aquatic areas. This district includes the following shoreland areas:
(Section 14.500 renumbered by Ord 14-09, 10-16-14)
(Section 14.505 renumbered by Ord 14-09, 10-16-14)
(Section 14.500 renumbered by Ord 14-09, 10-16-14)
(Section 14.520 renumbered by Ord 14-09, 10-16-14)
Unless specifically defined below, words or phrases used in this Code shall be interpreted so as to give them the meaning they have in common usage, and to give this Code its most reasonable application. In addition, any words or phrases found in this section are applicable to only this section of the Code, unless otherwise stated.
AREA OF SHALLOW FLOODING: A designated AO or AH zone on the Flood Insurance Rate Map (FIRM). The base flood depth range is from one to three feet; a clearly defined channel does not exist; the path of flooding is unpredictable and indeterminate; and velocity flow may be evident. AO is characterized as sheet flow and AH indicates ponding.
AREA OF SPECIAL FLOOD HAZARD: The land in the flood plain subject to a one percent (1%) or greater chance of flooding in any given year. Designation on maps always include the letter A or V.
BASE FLOOD: A flood having a one percent (1%) chance of being equaled or exceeded in any given year (also referred to as a 100-year flood).
BASE FLOOD ELEVATION (BFE): The height of the base flood, usually in feet, in relation to the current FEMA Flood Insurance Rate Maps, or depth of the base flood, usually in feet, above the ground surface.
BASEMENT: Basement means any area of the building having its floor subgrade below ground level on all sides.
BELOW-GRADE CRAWLSPACE: An enclosed area below the base flood elevation in which the interior grade is not more than two feet below the lowest adjacent exterior grade and the height, measured from the interior grade of the crawlspace to the top of the crawlspace foundation, does not exceed 4 feet at any point.
CRITICAL FACILITY: A facility for which even a slight chance of flooding might be too great. Critical facilities include, but are not limited to schools, nursing homes, hospitals police, fire and emergency response installations, installations which produce, use or store hazardous materials or hazardous waste. Critical facilities exclude water, sanitary sewer, and storm water infrastructure, as well as assisted-living facilities.
DEVELOPMENT: Any man-made change to improved or unimproved real property, including but not limited to buildings or other structures, mining, dredging, filling, grading, paving, excavation or drilling operations or storage of equipment or materials.
ELEVATED STRUCTURE: A non-basement building which has its lowest elevated floor raised above ground level by foundation walls, shear walls, posts, piers, pilings, or columns.
FLOOD OR FLOODING: A general and temporary condition of partial or complete inundation of normally dry land areas from:
FLOOD INSURANCE RATE MAP (FIRM): The official map on which the Federal Insurance Administration has delineated both the areas of special flood hazards and the risk premium zones applicable to the community.
FLOOD INSURANCE STUDY: The official report provided by the Federal Insurance Administration that includes flood profiles, the Flood Boundary-Floodway Map, and the water surface elevation of the base flood.
LOWEST FLOOR: The lowest floor of the lowest enclosed area (including basement). An unfinished or flood resistant enclosure, usable solely for parking of vehicles, building access or storage, in an area other that a basement area, in not considered a building’s lowest floor, provided that such enclosure in not built so as to render the structure in violation of the applicable non-elevation design requirements of this Code in Section 14.545(A).
MEAN SEA LEVEL (MSL): The National Geodetic Vertical Datum (NGVD) of 1929 or other datum, to which base flood elevations shown on a community’s Flood Insurance Rate Map are referenced.
NEW CONSTRUCTION: Structures for which the “start of construction” commenced on or after January 21, 1988.
START OF CONSTRUCTION: The date the building permit was issued, provided the actual start of construction, repair, reconstruction, placement or other improvement was within 180 days of the permit date. The actual start means either the first placement of permanent construction of a structure on a site, such as the pouring of slab or footings, the installation of piles, the construction of columns, or any work beyond the stage of excavation; or the placement of a manufactured home on a foundation. For a substantial improvement, the actual start of construction means the first alteration of any wall, ceiling, floor, or other structural part of a building, whether or not that alteration affects the external dimensions of the building. Permanent construction does not include:
STRUCTURE: A walled, floored, and/or roofed building including a gas or liquid storage tank that is principally above ground, as well as a manufactured home.
SUBSTANTIAL DAMAGE: Is damage of any origin sustained by a structure whereby the cost of restoring the structure to its before damaged condition would equal or exceed 50 percent of the market value of the structure before the damage occurred as indicated on the records of the Clatsop County Assessor.
SUBSTANTIAL IMPROVEMENT: Any repair, reconstruction, or improvement of an existing structure, the cost of which equals or exceeds 50 percent of the market value of the structure either:
(Section 14.525 renumbered by Ord 14-09, 10-16-14; Ordinance 09-03, 8/3/09
)
(Section 14.530 renumbered by Ord 14-09, 10-16-14)
(Section 14.535 renumbered by Ord 14-09, 10-16-14)
(Section 14.540 renumbered by Ord 14-09, 10-16-14)
(Section 14.545 renumbered by Ord 14-09, 10-16-14)
This zone is intended to provide for developments incorporating a single type or a variety of housing types and related uses which are planned and developed as a unit or in sequential phases. Such developments may consist of individual lots as part of a larger holding or as common building sites. Commonly owned land, which is an essential and major element of the plan, should be related to and preserve the natural features of the land and enhance the long-term value of the property. It is the intent of this zone to foster a more innovative approach to land development than is possible under the traditional lot by lot methods, and to provide a more desirable environment through the application of flexible and diversified land development standards following an overall comprehensive site development plan.
(Section 14.560 renumbered by Ord 14-09, 10-16-14)
(Section 14.565 renumbered by Ord 14-09, 10-16-14)
(Section 14.570 renumbered by Ord 14-09, 10-16-14)
(Section 14.575 renumbered by Ord 14-09, 10-16-14)
(Section 14.580 renumbered by Ord 14-09, 10-16-14)
An approved planned development shall be identified on the zoning map with the letters "planned development" in addition to the abbreviated designation of the present zone.
(Section 14.585 renumbered by Ord 14-09, 10-16-14)
(Section 14.590 renumbered by Ord 14-09, 10-16-14)
The purpose of this overlay zone is to establish additional requirements for habitat areas identified as critical for the Great Blue Heron, Northern Bald Eagle, Osprey, or other sensitive bird species to insure that the areas are protected from the effects of conflicting uses or activities.
The areas subject to the requirements of the Sensitive Bird Habitat Overlay Zone include nest trees, vegetative buffers, perching and fledgling trees, and other key habitat components associated with Bald Eagles, Osprey, and Great Blue Herons. When sensitive bird habitats are identified and a decision is made to protect an identified habitat under Statewide Planning Goal 5, then the Sensitive Bird Habitat Overlay shall be added to the Comprehensive Plan, mapped on the Astoria Land Use and Zoning Map, and become subject to the requirements of the Sensitive Bird Habitat Overlay Zone.
The requirements of the SBHO Zone will be implemented through a site specific management plan developed to insure that potential uses and activities will neither destroy nor result in the abandonment of sensitive bird habitat areas.
(Section 14.600 renumbered by Ord 14-09, 10-16-14; Section 14.600 formerly 2.930 added by Ordinance 94-11, 9-19-94)
(Section 14.605 renumbered by Ord 14-09, 10-16-14; Section 14.605 formerly 2.935 added by Ordinance 94-11, 9-19-94)
(Section 14.610 renumbered by Ord 14-09, 10-16-14; Section 14.610 formerly 2.940 added by Ordinance 94-11, 9-19-94)
As used in Sections 14.600 through 114.630, unless the context requires otherwise, the following words and phrases shall mean:
PRIMARY NEST ZONE: The area encompassing the next trees of the Great Blue Heron Rookery. The primary nest zone is delineated by identifying the nest trees on the outer perimeter.
BUFFER ZONE: The buffer is an area extending 300 feet around the primary nest zone, measured from the nest trees on the perimeter of the primary nest zone.
(Section 14.620 renumbered by Ord 14-09, 10-16-14; Section 14.620 formerly 2.950 added by Ordinance 94-11, 9-19-94)
The Youngs Bay/Brown Creek Heron Rookery is located on the City’s South Slope in a drainage area commonly known as Brown Creek. The Rookery is approximately half within Astoria City limits and half within the unincorporated area of Clatsop County.
A May 1993 survey of the Heron Rookery, conducted by Oregon Department of Fish and Wildlife (ODFW), found 135 active nests and six inactive nests. The active nests were located in 31 trees. Oregon Department of Transportation (ODOT) and ODFW mapped the primary nesting area, identifying the nest trees on the outside perimeter of the nest zone (see attached map).
In accordance with ODFW's guidelines for heron rookeries, all trees within a primary nest zone (area encompassed by a boundary drawn to enclose all nest trees) will be protected, and a buffer zone 300 feet around the primary nest zone will be designated to provide alternate nest trees, allow colony growth, and minimize wind damage. Wind throw at the site is high. Activities that could result in major disturbances during the nesting season, February 1 through July 31, shall be avoided within this buffer zone unless reviewed and authorized by the City of Astoria.
The City of Astoria has determined, through the Goal 5 process (ESEE Analysis), that the benefits to the area gained from construction of the proposed Astoria By-Pass out-weigh the anticipated adverse impacts and support construction of the proposed Astoria By-Pass.
(Section 14.625 renumbered by Ord 14-09, 10-16-14; Section14.625 formerly 2.955 added by Ordinance 94-11, 9-19-94)
(Section 14.630 renumbered by Ord 14-09, 10-16-14; Section14.630 formerly 2.960 added by Ordinance 94-11, 9-19-94)
(Article 14 added by Ordinance 98-04, 5-4-98)
As used in Article 14, unless the context requires otherwise, the following word shall have the meaning indicated:
ADJACENT: Any lot abutting the subject parcel (including all tax lots included as part of the subject parcel development) excluding rights-of-way. (Section 14.001 added by Ord 15-09, 12-7-2015)
HEIGHT, TOP OF BANK: For over-water / shoreline construction, top of bank shall be measured from the existing lowest point along the top of the shoreline adjacent to the subject property prior to any grading and/or fill. Features such as railings, balustrades, dolphins, bumper pilings, mooring pilings, and water navigational fixtures are exempt from the maximum “top of bank” height restriction as “water-dependent” features. (Added by Ord 19-14, 10-21-2019)
RIVER TRAIL: The entire width of the railbanked former railroad right-of-way property and/or easements, including the improved portions of the trail along the Columbia River, not just the improved portions of the Trail. The former railroad right-of-way property is generally 50’ wide in most areas but may include larger areas. The portion of the River Trail between 6th Street and 17th Street is also referred to as the River Walk. (Added by Ord 19-06, 7-1-2019)
SHOULD: A requirement, unless it can be shown that to comply with the requirement would be unreasonable, impractical, or unfeasible. Economic hardship alone shall not be justification for noncompliance with the requirement, but may be considered in conjunction with other reasons for noncompliance. (Section 14.001 added by Ord 15-09, 12-7-2015)
VIEW CORRIDOR: The unobstructed line of site of an observer looking toward an object of significance to the community such as the River, historic site, ridgeline, etc. A view corridor shall be free of structural encroachments. Parking within a view corridor is allowed unless otherwise specified. (Added by Ord 19-14, 10-21-2019)
(Section 14.001 added by Ord 15-09, 12-7-2015)
This article shall control in the event of a conflict with other sections of the Astoria Development Code.
The provisions of the Gateway and Riverfront Vision Overlay Zones shall apply to all new construction or major renovation as noted in the specific code Sections, unless otherwise specified by the provisions in the Sections and as follows:
The purpose of the Gateway Overlay Zone is to implement the concepts and guidelines of the Astoria Gateway Master Plan, dated April 1997. The Gateway Overlay Zone is intended to be an intensively developed, mixed-use area which complements Downtown Astoria and the community as a whole.
(Section 14.010 renumbered to 14.001 by Ord 15-09, 12-7-2015)
The Design Review Guidelines shall apply to all new construction or major renovation. For the purposes of this Code Section, "major renovation" is defined as construction valued at 33% or more of the assessed value of the existing structure. The guidelines are intended to provide fundamental principles that will assist in the review of the propsed development. The principles identify both "encouraged" and "discouraged" architectural elements. They are broad design objectives and are not to be construed as prescriptive standards.
Due to the critical regional importance of Columbia Memorial Hospital, current understanding of the implications of the Cascadia seismic and tsunami events, and updated seismic and resiliency requirements, Health Care related uses in the Health Care zone are exempt from the Design Review and Use standards of the Gateway Overlay zone.
The following standards are applicable to all uses within the Gateway Overlay Zone except as noted in Section 14.030.F below. (Section 14.030 amended by Ord 19-06, 7-1-2019)
The purpose of the Civic Greenway Overlay Zone is to implement the land use principles of the Astoria Riverfront Vision Plan, dated December 2009, as they pertain to the Civic Greenway Plan Area. The Civic Greenway Overlay (CGO) Zone is intended to protect views of and access to the Columbia River, provide for an enhance open space and landscaping, support water-dependent uses consistent with Astoria’s working waterfront, and encourage modest scale housing in areas recommended for residential use. The CGO Zone extends from approximately 16th Street to 41st Street and between Marine Drive and the Columbia River as depicted on the City’s Zoning Map.
The provisions of the Civic Greenway Overlay Zone shall apply to all new construction or major renovation, where “major renovation” is defined as construction valued at 33% or more of the assessed value of the existing structure, unless otherwise specified by the provisions in this Section.
Review of applications in the Civic Greenway Overlay Zone is subject to the administrative procedures and approval of the Community Development Director established in Article 9.
The following uses and activities and their accessory uses and activities are permitted in the Civic Greenway Overlay Zone, if permitted outright in the base zone for the site, and subject to the other appropriate development provisions of this Section.
(Section 14.045 added by Ord 13-09, 10-6-14)
The following uses and activities and their accessory uses and activities are permitted in the Civic Greenway Overlay Zone as Conditional Uses, if permitted as a Conditional Use in the base zone for the site, and when authorized in accordance with Article 11, Conditional Uses. These uses and activities are also subject to the other appropriate development provisions of this Section. It must also be shown that these uses and activities are consistent with the purpose of the Civic Greenway Overlay Zone.
(Section 14.050 added by Ord 13-09, 10-6-14)
The following development standards apply to overwater development in the Civic Greenway Overlay Zone. The Overwater Development standards shall also apply to on-land development north of the River Trail between 19th and 41st Streets.
Maintenance, repair, or restoration of buildings existing prior to 2013 shall be exempt from the standards of this Section 14.055. Additions and/or new construction on these buildings shall be subject to these standards.
(Section 14.055 amended by Ord 19-06, 7-1-2019)
(Section 14.055 added by Ord 13-09, 10-6-14)
The following development standards apply to on-land development in the Civic Greenway Overlay Zone south of the River Trail. The Overwater Development standards shall apply to on-land development north of the River Trail / 50’ wide railroad line property. (Section 14.060 amended by Ord 19-06, 7-1-2019)
(Section 14.060 added by Ord 13-09, 10-6-14)
The property situated approximately between 35th Street to the west, 41st Street to the east, the pierhead line to the north, and Marine Drive/Lief Erikson Drive to the south, shall constitute a subarea within the Civic Greenway Overlay Zone. The purpose of this subarea is to permit adoption of development standards, known as a Plan District, not applicable to other properties in the Civic Greenway Overlay Zone. If approved under the criteria of section 14.061(A) the plan district shall be known as the East Basin Plan District.
(Section 14.061 added by Ord 13-09, 10-6-14)
(Reserved for codifying future Plan District regulations.)
(Section 14.063 to 14.064 added by Ord 13-09, 10-6-14)
(Section 14.065 added by Ord 13-09, 10-6-14)
(Section 14.070 added by Ord 13-09, 10-6-14)
(Ord 13-09, 10-6-14; Ord.15-03, 6-15-15
)
The purpose of the Bridge Vista Overlay Zone is to implement the land use principles of the Astoria Riverfront Vision Plan, dated December 2009, as they pertain to the Bridge Vista Area. The Bridge Vista Overlay (BVO) Zone is intended to serve objectives including supporting water-dependent and water-related uses and new uses consistent with Astoria’s working waterfront; encouraging design that is compatible with the area’s historic and working waterfront character; protecting views of and access to the Columbia River; enhancing open space and landscaping, particularly adjacent to the River Trail; strengthening the pedestrian orientation and gateway characteristics of the area; and allowing for commercial and residential uses that complement the Downtown core and support other planning objectives for the area. The BVO Zone extends from approximately the West Mooring Basin to 2nd Street and between West Marine Drive / Marine Drive and the northern edge of overwater parcels on the Columbia River, as shown in the City’s Zoning Map.
(Section 14.085 added by Ord 15-03, 6-15-15)
The provisions in Sections 14.085 to 14.125 apply all uses in all areas of the Bridge Vista Overlay Zone unless indicated otherwise in Table 14.090-1 and in the individual sections.
Table 14.090-1: Applicability of Bridge Vista Overlay Zone Code Sections
| Code Section | Applicability |
| Section 14.095 Uses
Prohibited for Overwater Development | • Aquatic Zones
• Shoreland Zones |
| Section 14.100
Standards for Overwater Development | Limitation Areas (Figure 14.100-1) – overwater and land north of the River Trail / 50’ wide railroad line property |
| Section 14.105 Uses
Permitted for On-Land Development | • Pedestrian-Oriented District (Figure 14.105-2)
• C-3 Zone |
| Section 14.110 Uses
Prohibited for On-Land Development | • Pedestrian-Oriented District (Figure 14.105-2)
• C-3 Zone |
| Section 14.113 Standards for On-Land Development | Minimum Setbacks
• North/south Rights-of-way between West Marine Drive / Marine Drive and Columbia River
• Adjacent to River Trail • Adjacent to West Marine Drive / Marine Drive and Other Rights-of-Way Parallel to West Marine Drive / Marine Drive (except River Trail) Maximum Setbacks • Adjacent to West Marine Drive / Marine Drive and Parallel Rights-of-Way Stepbacks • All Overlay Zone Adjacent to Rights-of-Way Size |
| Section 14.115 Design Guidelines and
Standards | Building Style and Form
• Standards for Projecting Wall-Mounted Mechanical Units Visible from Public Right-of-Way or River Trail
• Guidelines for All Uses, All Overlay Zone Adjacent to Rights-of-Way (except West Marine Drive / Marine Drive)
Roof Form and Materials • Form Standards for All Uses • Materials Standards for All Uses • Form Standards for Non-Industrial Uses • Form Standards and Guidelines for Industrial Uses Doors • Standards for All Uses • Guidelines for All Uses • Standards for Non-Industrial Uses • Guidelines for Non-Industrial Uses Windows • Coverage Standards for All Uses • Design Standards for All Uses • Design Guidelines for All Uses • Coverage Standards for Non-Industrial Uses in Pedestrian-Oriented District • Coverage Standards for Non-Industrial Uses Outside Pedestrian-Oriented District • Coverage Standards for Industrial Uses Siding and Wall Treatment • Standards for All Uses • Guidelines for All Uses Awnings • Standards for Types of Awnings/Treatments for All Uses • Guidelines for Types of Awnings/Treatments for All Uses • Standards Along River Trail and North/South Rights-of-Way Lighting • Standards for All Uses • Guidelines for All Uses Signs • Standards for All Uses in Pedestrian-Oriented District |
| Section 14.120 Landscaping | River Side/Riparian
Land Side/Upland
Street Trees
• All Street Trees
• North-South Rights-of-Way Between West Marine Drive / Marine Drive and Columbia River |
| Section 14.125 Off-Street Parking | In Pedestrian-Oriented District
• Small Floor Area
• Buildings Covering Site
• Small Building Expansions |
Figure 14.090-1: Limitation Area
Figure 14.090-2, Pedestrian-Oriented District
(Figure 14.090-2 amended by Ord 19-06, 7-1-2019)
The provisions of the Bridge Vista Overlay Zone shall apply to all new construction or major renovation, where “major renovation” is defined as construction valued at 33% or more of the assessed value of the existing structure, unless otherwise specified by the provisions in this Section. Applications in the Bridge Vista Overlay Zone shall be reviewed in a public design review process subject to the standards and guidelines in Sections 14.095 to 14.125.
(Section 14.090 added by Ord 15-03, 6-15-15)
(Section 14.095 title amended by Ord 19-06, 7-1-2019)
(Section 14.095 added by Ord 15-03, 6-15-15)
(Section 14.100 added by Ord 15-03, 6-15-15)
(Section 14.105 added by Ord 15-03, 6-15-15)
(Section 14.110 added by Ord 15-03, 6-15-15)
The following development standards apply to on-land development in the Bridge Vista Overlay Zone south of the River Trail. The Overwater Development standards shall apply to on-land development north of the River Trail. (Section 14.113 amended by Ord 19-06, 7-1-2019; amended by Ord 19-14, 10-21-2019)
(Section 14.113 added by Ord 15-03, 6-15-15)
(Ord 19-06, 7-1-2019; Ord.15-03, 6-15-15)
(Section 14.115 added by Ord 15-03, 6-15-15)
Landscaping is required in the Bridge Vista Overlay Zone in accordance with the provisions in this Section and those in Section 3.120 to 3.125. The provisions in this Section apply to new construction or exterior renovations with a value of at least 33% of the assessed value of the structure,.
(Section 14.120 added by Ord 15-03, 6-15-15)
In the Pedestrian-Oriented District in the Bridge Vista Overlay Zone (Figure 14.090-2), the following provisions apply to parking requirements established in Article 7 of this Code.
(Section 14.122 renumbered from 14.125 by Ord 19-14, 10-21-2019)
A. Purpose
The West Mooring Basin Plan District provides for a unique level of mixed-use development including commercial, employment, institutional, and recreational uses. The purpose of the plan district is to implement the principles and enable the framework shown in the "Port of Astoria Waterfront Master Plan" (2022). Objectives of the plan district include encouraging on-land development appropriate for the riverfront setting and preserving unique resources. Where they conflict, allowances and limitations of the plan district take precedence over those of the base and overlay zones.
B. Plan District Boundary
The Property situated approximately between Portway Avenue to the west, Bay Street to the east, pierhead line to the north, and West Marine Drive to the south, shall constitute a subarea within the Bridge Vista Overlay Zone. This area is known as the Port of Astoria West Mooring Basin Plan District.
The over-water area within the Plan District shall not be subject to
Figure 14.125-1: West Mooring Basin Plan District Boundaries
changes from the approved Bridge Vista Overlay uses, standards, and/or requirements. The boundaries of the Port of Astoria West Mooring Basin Plan District are illustrated on a map referenced below.
C. Applicability
The following development standards apply to all new construction or major renovation, where "major renovation" is defined as construction valued at 25% or more of the assessed value of the existing structure. The Bridge Vista Overlay standards and requirements shall be applicable unless otherwise noted in the Plan District standards.
D. Procedures
An application for a specific project within the Plan District is processed as a Type III review as described in Section 9.010 and in accordance with the Development Code.
E. Uses
The following uses and activities and their accessory uses and activities are permitted or conditional for on-land development in any zone within the West Mooring Basin Plan District unless noted. These uses are in addition to those permitted uses in the base zone, as identified in Article 2, and subject to the other appropriate development provisions of this Section. Prohibitions described in Section 14.095.B and 14.110 apply.
F. Development Standards
The following development standards apply to on-land development in the West Mooring Basin Plan District. Unless otherwise noted, all other standards and guidelines of the base zone and/or Bridge Vista Overlay Zone are applicable.
1. Building Height
2. Building Size
Notwithstanding the provisions of Section 14.113.D there is no limit on the square footage of a proposed building so long as it meets dimensional standards for height and setbacks, except within the Fishing Village subarea,
3. Building Orientation
Notwithstanding the provisions of Section 14.113.E there are no restrictions on the orientation of buildings.
4. Building Separation
Notwithstanding the provisions of Section 14.113.B.3 buildings on the same lot shall have no minimum required setbacks between building, except within the Fishing Village subarea. River Trai setbacks still apply.
5. Lot coverage
Notwithstanding the provisions of Section 14.113.F, there is no restriction on lot coverage.
6. View Corridors
a. Fishing Village View Corridors
Additional development restrictions apply to the "Fishing Village" area of the Plan District, as described in Section 14.125. This subarea is situated among the south end of the West Mooring Basin approximately between Port of Astoria "E" Dock to the west, Port of Astoria "A" Dock to east, the southern edge of the West Mooring Basin Boat Docks to the north, and Industry Street to the south, shown in Figure 14.125-2. This property shall constitute a subarea within the West Mooring Basin Plan District called the Fishing Village. The east-west width of the Fishing Village is approximately 530 feet.
Figure 14.125-2: Fishing Village Boundaries

Additional restrictions in the "Fishing Village" are intended to create view corridors from the River Trail toward the marina and Columbia River, and allow smaller-scale development consistent with the Port of Astoria Waterfront Master Plan, Within this sub-area the following standards apply.
A minimum of 200 feet of unobstructed view corridor shall be preserved along the east-west dimension of the Fishing Village area. The cumulative width of structures along the east-west dimension in the Fishing Village area shall not exceed 330 feet. The precise location of view corridors between buildings may vary, as long as a cumulative minimum of 200 feet of open views is maintained toward the marina and River.
b. Bay Street View Corridor
A minimum view corridor width of 50 feet shall be established, centered on the Bay Street right of way, between West Marine Drive and the Columba River pierhead. This corridor shall be free of structural encroachments, per the definition in Section 14.001.
Figure 14.125-3: Bay Street View Corridor

(Section 14.125 added by Ord 19-14, 10-21-2019)
The property situated approximately between Columbia Avenue to the west, 1st Street to the east, the top of bank to the north, and West Marine Drive to the south, shall constitute a subarea within the Bridge Vista Overlay Zone. The purpose of this subarea is to permit adoption of development standards, known as a Plan District, not applicable to other properties in the Bridge Vista Overlay Zone. If approved under the criteria of Section 14.127.A, the Plan District shall be known as the Astoria Warehouse Plan District.
(Section 14.127 added by Ord 19-14, 10-21-2019)
(Reserved for codifying future Plan District regulations.)
(Section 14.128 and 14.129 added by Ord 19-14, 10-21-2019)
The purpose of the Neighborhood Greenway Overlay Zone is to implement the land use principles of the Astoria Riverfront Vision Plan, dated December 2009, as they pertain to the Neighborhood Greenway Plan Area. The Neighborhood Greenway Overlay (NGO) Zone is intended to protect views of and access to the Columbia River, provide for an enhance open space and landscaping, support limited water-dependent uses consistent with Astoria’s working waterfront. The NGO Zone extends from approximately 41st Street to the east side of Alderbrook neighborhood at approximately 54th Street and between Lief Erikson Drive and the pier head line of the Columbia River as depicted on the City’s Zoning Map.
(Section 14.130 added by Ordinance 15-09, 12-7-2015)
The provisions of the Neighborhood Greenway Overlay Zone shall apply to all new construction or major renovation, where “major renovation” is defined as construction valued at 33% or more of the assessed value of the existing structure, unless otherwise specified by the provisions in this Ordinance.
Review of applications in the Neighborhood Greenway Overlay Zone is subject to the administrative procedures and approval of the Community Development Director established in Article 9.
Outright and Conditional uses within the Neighborhood Greenway Overlay Zone shall be limited to allowable uses in the A-4 Zone (Aquatic Natural) with the following exceptions:
(Section 14.132 added by Ordinance 15-09, 12-7-2015)
The following development standards apply to overwater development in the Neighborhood Greenway Overlay Zone. The Overwater Development standards shall also apply to on-land development north of the River Trail between 41st Street and approximately 54th Street.
Maintenance, repair, or restoration of buildings existing prior to 2002 (See Section 2.585.N and 14.132.1) shall be exempt from the standards of this Section. Additions and/or new construction on these buildings shall be subject to these standards. (Section 14.133 amended by Ord 19-06, 7-1-2019)
(Section 14.133 added by Ordinance 15-09, 12-7-2015)
(Section 14.134 added by Ordinance 15-09, 12-7-2015)
(Section 14.135 added by Ordinance 15-09, 12-7-2015)
(Section 14.137 added by Ordinance 15-09, 12-7-2015)
Landscaping is required in the Neighborhood Greenway Overlay Zone in accordance with the provisions in this Section and those in Section 3.120 to 3.125. The provisions in this Section apply to new construction or exterior renovations with a value of at least 33% of the assessed value of the structure..
(Section 14.138 added by Ordinance 15-09, 12-7-2015)
The purpose of the Uniontown Overlay Zone is to implement the land use principles of the Astoria Uniontown Reborn Master Plan, dated [plan adoption date] and address policy direction from the Astoria Planning Commission and City Council for this area. The Uniontown Overlay (UTO) Zone is intended to meet and balance multiple objectives, including creating an attractive western gateway into the City; developing a pedestrian-friendly commercial district; expanding the tree canopy and enhancing site landscaping; encouraging design of new or rehabilitated buildings that respects the character of the City and the Uniontown-Alameda National Register Historic District; and allowing a mix of uses that support a vibrant commercial corridor, new investment, and employment opportunities. The boundaries of the UTO Zone are depicted on the City’s Zoning Map.
(Section 14.145 added by Ord 19-11, 10-7-2019)
The following uses and activities and their accessory uses and activities are permitted outright in the Uniontown Overlay Zone, in addition to uses permitted outright in the base zone identified in Article 2, and subject to the other appropriate development provisions of this Section.
(Section 14.149 added by Ord 19-11, 10-7-2019)
(Section 14.150 added by Ord 19-11, 10-7-2019)
The following development standards apply to development in the Uniontown Overlay Zone.
This provision shall apply only to utility lines to be installed for new construction. Utility lines, including, but not limited to, electricity, communications, street lighting and cable television, shall be required to be placed underground. Appurtenances and associated equipment such as surface-mounted transformers, pedestal-mounted terminal boxes and meter cabinets may be placed above the ground, and shall be screened by sight obscuring fences and/or dense landscape buffers. The Design Review Committee may waive the requirements of this section if topographical, soil, or other conditions make such underground installations or screening of above ground equipment unreasonable or impractical. The applicant shall make all necessary arrangements with the serving utility or agency for underground installations provided hereunder; all such installations shall be made in accordance with the tariff provisions of the utility, as prescribed by the State Public Utilities Commission.
(Section 14.155 added by Ord 19-11, 10-7-2019)
(Section 14.158 added by Ord 19-11, 10-7-2019)
Landscaping is required in the Uniontown Overlay Zone in accordance with the provisions in this Section and those in Sections 3.120 to 3.125, and 7.170. The provisions in this Section apply to new construction or exterior renovations with a value of at least 33% of the assessed value of the structure, or in the event of installation of new parking areas.
(Section 14.160 added by Ord 19-11, 10-7-2019)
In the Uniontown Overlay Zone, the following provisions apply to parking requirements established in Article 7 of this Code.
(Section 14.163 added by Ord 19-11, 10-7-2019)
The purpose of the Urban Core Overlay Zone is to implement the land use principles of the Astoria Riverfront Vision Plan, dated December 2009, as they pertain to the Urban Core Area. The Urban Core Overlay (UCO) Zone is intended to meet and balance multiple objectives, including promoting the urban character of the area and allowing for dense development; encouraging design of new or rehabilitated buildings that respects Astoria’s character; protecting views of and access to the Columbia River; creating intimate open spaces and gathering places within new developments; maximizing existing open areas over the water; and allowing for a mix of commercial, residential, and water dependent uses that supports the downtown core. The UCO Zone extends from approximately 2nd Street to 16th Street, from the pierhead line to Marine Drive, and to Commercial Street between 8th and 16th Streets, as shown in the City’s Zoning Map.
(Section 14.175 added by Ord 20-02, 1-21-2020)
| Code Section | Applicability |
| Section 14.180 Uses Prohibited for Overwater Development | • Aquatic Zones |
| Section 14.183 Standards for Overwater Development | Limitation Areas (Figure 14.178-1) – overwater and land north of the River Trail
Minimum Setbacks • North/south Rights-of-way between Marine Drive and Columbia River • Adjacent to River Trail |
| Section 14.185 Uses Permitted for On-Land Development | • C-3 and C-4 Zones |
| Section 14.188 Uses Prohibited for On-Land Development | • C-3 and C-4 Zones |
| Section 14.190 Standards for On-Land
Development | Minimum Setbacks
• North/south Rights-of-way between Marine Drive / Commercial Street and Columbia River
• Adjacent to River Trail
• Adjacent to Marine Drive and Other Rights-of-Way Parallel to Marine Drive (except River Trail)
Maximum Setbacks • Adjacent to Marine Drive and Parallel Rights-of-Way Stepbacks • All Overlay Zone Adjacent to Rights-of-Way and River Trail Size • All Overlay Zone |
| Section 14.195 Design Guidelines and
Standards | Building Style and Form
• Standards for Projecting Wall-Mounted Mechanical Units Visible from Public Right-of-Way or River Trail
• Guidelines for All Uses, All Overlay Zone
Roof Form and Materials • Form Standards for All Uses • Materials Standards for All Uses • Form Standards for Non-Industrial Uses • Form Standards and Guidelines for Industrial Uses Doors • Standards for All Uses • Guidelines for All Uses • Standards for Non-Industrial Uses • Guidelines for Non-Industrial Uses Windows • Coverage Standards for All Uses • Design Standards for All Uses • Design Guidelines for All Uses • Coverage Standards for Non-Industrial Uses • Coverage Standards for Industrial Uses Siding and Wall Treatment • Standards for All Uses • Guidelines for All Uses Awnings • Standards for Types of Awnings/Treatments for All Uses • Guidelines for Types of Awnings/Treatments for All Uses • Standards Along River Trail and North/South Rights-of-Way Lighting • Standards for All Uses • Guidelines for All Uses Signs • Standards for All Uses |
| Section 14.200 Landscaping | River Side/Riparian
Land Side/Upland
Street Trees
• All Street Trees
• North-South Rights-of-Way Between Marine Drive / Commercial Street and Columbia River |
(Section 14.178 added by Ord 20-02, 1-21-2020)
(Section 14.180 added by Ord 20-02, 1-21-2020)
(Section 14.183 added by Ord 20-02, 1-21-2020)
(Section 14.185 added by Ord 20-02, 1-21-2020)
(Section 14.188 added by Ord 20-02, 1-21-2020)
The following development standards apply to on-land development in the Urban Core Overlay Zone.
(Section 14.190 added by Ord 20-02, 1-21-2020)
(Section 14.195 added by Ord 20-02, 1-21-2020)
Landscaping is required in the Urban Core Overlay Zone in accordance with the provisions in this Section and those in Section 3.120 to 3.125. The provisions in this Section apply to new construction or exterior renovations with a value of at least 33% of the assessed value of the structure. Buildings existing prior to January 1, 2020 that cover more than 90% of a lot are exempt from meeting landscape requirements when making renovations.
(Section 14.200 added by Ord 20-02, 1-21-2020)
This overlay district establishes additional requirements for shoreland areas adjacent to the Columbia River Estuary to assure that estuary shorelands are managed in a way that is compatible with adjacent estuarine aquatic areas. This district includes the following shoreland areas:
(Section 14.500 renumbered by Ord 14-09, 10-16-14)
(Section 14.505 renumbered by Ord 14-09, 10-16-14)
(Section 14.500 renumbered by Ord 14-09, 10-16-14)
(Section 14.520 renumbered by Ord 14-09, 10-16-14)
Unless specifically defined below, words or phrases used in this Code shall be interpreted so as to give them the meaning they have in common usage, and to give this Code its most reasonable application. In addition, any words or phrases found in this section are applicable to only this section of the Code, unless otherwise stated.
AREA OF SHALLOW FLOODING: A designated AO or AH zone on the Flood Insurance Rate Map (FIRM). The base flood depth range is from one to three feet; a clearly defined channel does not exist; the path of flooding is unpredictable and indeterminate; and velocity flow may be evident. AO is characterized as sheet flow and AH indicates ponding.
AREA OF SPECIAL FLOOD HAZARD: The land in the flood plain subject to a one percent (1%) or greater chance of flooding in any given year. Designation on maps always include the letter A or V.
BASE FLOOD: A flood having a one percent (1%) chance of being equaled or exceeded in any given year (also referred to as a 100-year flood).
BASE FLOOD ELEVATION (BFE): The height of the base flood, usually in feet, in relation to the current FEMA Flood Insurance Rate Maps, or depth of the base flood, usually in feet, above the ground surface.
BASEMENT: Basement means any area of the building having its floor subgrade below ground level on all sides.
BELOW-GRADE CRAWLSPACE: An enclosed area below the base flood elevation in which the interior grade is not more than two feet below the lowest adjacent exterior grade and the height, measured from the interior grade of the crawlspace to the top of the crawlspace foundation, does not exceed 4 feet at any point.
CRITICAL FACILITY: A facility for which even a slight chance of flooding might be too great. Critical facilities include, but are not limited to schools, nursing homes, hospitals police, fire and emergency response installations, installations which produce, use or store hazardous materials or hazardous waste. Critical facilities exclude water, sanitary sewer, and storm water infrastructure, as well as assisted-living facilities.
DEVELOPMENT: Any man-made change to improved or unimproved real property, including but not limited to buildings or other structures, mining, dredging, filling, grading, paving, excavation or drilling operations or storage of equipment or materials.
ELEVATED STRUCTURE: A non-basement building which has its lowest elevated floor raised above ground level by foundation walls, shear walls, posts, piers, pilings, or columns.
FLOOD OR FLOODING: A general and temporary condition of partial or complete inundation of normally dry land areas from:
FLOOD INSURANCE RATE MAP (FIRM): The official map on which the Federal Insurance Administration has delineated both the areas of special flood hazards and the risk premium zones applicable to the community.
FLOOD INSURANCE STUDY: The official report provided by the Federal Insurance Administration that includes flood profiles, the Flood Boundary-Floodway Map, and the water surface elevation of the base flood.
LOWEST FLOOR: The lowest floor of the lowest enclosed area (including basement). An unfinished or flood resistant enclosure, usable solely for parking of vehicles, building access or storage, in an area other that a basement area, in not considered a building’s lowest floor, provided that such enclosure in not built so as to render the structure in violation of the applicable non-elevation design requirements of this Code in Section 14.545(A).
MEAN SEA LEVEL (MSL): The National Geodetic Vertical Datum (NGVD) of 1929 or other datum, to which base flood elevations shown on a community’s Flood Insurance Rate Map are referenced.
NEW CONSTRUCTION: Structures for which the “start of construction” commenced on or after January 21, 1988.
START OF CONSTRUCTION: The date the building permit was issued, provided the actual start of construction, repair, reconstruction, placement or other improvement was within 180 days of the permit date. The actual start means either the first placement of permanent construction of a structure on a site, such as the pouring of slab or footings, the installation of piles, the construction of columns, or any work beyond the stage of excavation; or the placement of a manufactured home on a foundation. For a substantial improvement, the actual start of construction means the first alteration of any wall, ceiling, floor, or other structural part of a building, whether or not that alteration affects the external dimensions of the building. Permanent construction does not include:
STRUCTURE: A walled, floored, and/or roofed building including a gas or liquid storage tank that is principally above ground, as well as a manufactured home.
SUBSTANTIAL DAMAGE: Is damage of any origin sustained by a structure whereby the cost of restoring the structure to its before damaged condition would equal or exceed 50 percent of the market value of the structure before the damage occurred as indicated on the records of the Clatsop County Assessor.
SUBSTANTIAL IMPROVEMENT: Any repair, reconstruction, or improvement of an existing structure, the cost of which equals or exceeds 50 percent of the market value of the structure either:
(Section 14.525 renumbered by Ord 14-09, 10-16-14; Ordinance 09-03, 8/3/09
)
(Section 14.530 renumbered by Ord 14-09, 10-16-14)
(Section 14.535 renumbered by Ord 14-09, 10-16-14)
(Section 14.540 renumbered by Ord 14-09, 10-16-14)
(Section 14.545 renumbered by Ord 14-09, 10-16-14)
This zone is intended to provide for developments incorporating a single type or a variety of housing types and related uses which are planned and developed as a unit or in sequential phases. Such developments may consist of individual lots as part of a larger holding or as common building sites. Commonly owned land, which is an essential and major element of the plan, should be related to and preserve the natural features of the land and enhance the long-term value of the property. It is the intent of this zone to foster a more innovative approach to land development than is possible under the traditional lot by lot methods, and to provide a more desirable environment through the application of flexible and diversified land development standards following an overall comprehensive site development plan.
(Section 14.560 renumbered by Ord 14-09, 10-16-14)
(Section 14.565 renumbered by Ord 14-09, 10-16-14)
(Section 14.570 renumbered by Ord 14-09, 10-16-14)
(Section 14.575 renumbered by Ord 14-09, 10-16-14)
(Section 14.580 renumbered by Ord 14-09, 10-16-14)
An approved planned development shall be identified on the zoning map with the letters "planned development" in addition to the abbreviated designation of the present zone.
(Section 14.585 renumbered by Ord 14-09, 10-16-14)
(Section 14.590 renumbered by Ord 14-09, 10-16-14)
The purpose of this overlay zone is to establish additional requirements for habitat areas identified as critical for the Great Blue Heron, Northern Bald Eagle, Osprey, or other sensitive bird species to insure that the areas are protected from the effects of conflicting uses or activities.
The areas subject to the requirements of the Sensitive Bird Habitat Overlay Zone include nest trees, vegetative buffers, perching and fledgling trees, and other key habitat components associated with Bald Eagles, Osprey, and Great Blue Herons. When sensitive bird habitats are identified and a decision is made to protect an identified habitat under Statewide Planning Goal 5, then the Sensitive Bird Habitat Overlay shall be added to the Comprehensive Plan, mapped on the Astoria Land Use and Zoning Map, and become subject to the requirements of the Sensitive Bird Habitat Overlay Zone.
The requirements of the SBHO Zone will be implemented through a site specific management plan developed to insure that potential uses and activities will neither destroy nor result in the abandonment of sensitive bird habitat areas.
(Section 14.600 renumbered by Ord 14-09, 10-16-14; Section 14.600 formerly 2.930 added by Ordinance 94-11, 9-19-94)
(Section 14.605 renumbered by Ord 14-09, 10-16-14; Section 14.605 formerly 2.935 added by Ordinance 94-11, 9-19-94)
(Section 14.610 renumbered by Ord 14-09, 10-16-14; Section 14.610 formerly 2.940 added by Ordinance 94-11, 9-19-94)
As used in Sections 14.600 through 114.630, unless the context requires otherwise, the following words and phrases shall mean:
PRIMARY NEST ZONE: The area encompassing the next trees of the Great Blue Heron Rookery. The primary nest zone is delineated by identifying the nest trees on the outer perimeter.
BUFFER ZONE: The buffer is an area extending 300 feet around the primary nest zone, measured from the nest trees on the perimeter of the primary nest zone.
(Section 14.620 renumbered by Ord 14-09, 10-16-14; Section 14.620 formerly 2.950 added by Ordinance 94-11, 9-19-94)
The Youngs Bay/Brown Creek Heron Rookery is located on the City’s South Slope in a drainage area commonly known as Brown Creek. The Rookery is approximately half within Astoria City limits and half within the unincorporated area of Clatsop County.
A May 1993 survey of the Heron Rookery, conducted by Oregon Department of Fish and Wildlife (ODFW), found 135 active nests and six inactive nests. The active nests were located in 31 trees. Oregon Department of Transportation (ODOT) and ODFW mapped the primary nesting area, identifying the nest trees on the outside perimeter of the nest zone (see attached map).
In accordance with ODFW's guidelines for heron rookeries, all trees within a primary nest zone (area encompassed by a boundary drawn to enclose all nest trees) will be protected, and a buffer zone 300 feet around the primary nest zone will be designated to provide alternate nest trees, allow colony growth, and minimize wind damage. Wind throw at the site is high. Activities that could result in major disturbances during the nesting season, February 1 through July 31, shall be avoided within this buffer zone unless reviewed and authorized by the City of Astoria.
The City of Astoria has determined, through the Goal 5 process (ESEE Analysis), that the benefits to the area gained from construction of the proposed Astoria By-Pass out-weigh the anticipated adverse impacts and support construction of the proposed Astoria By-Pass.
(Section 14.625 renumbered by Ord 14-09, 10-16-14; Section14.625 formerly 2.955 added by Ordinance 94-11, 9-19-94)
(Section 14.630 renumbered by Ord 14-09, 10-16-14; Section14.630 formerly 2.960 added by Ordinance 94-11, 9-19-94)