76 - OPEN STORAGE3
Sections:
State Law reference— For statutory provisions authorizing cities to regulate the use of lots, yards, and other open spaces, see Gov't Code Sec. 65850.
A.
No person, firm, corporation, other entity, or owner shall personally, or permit others to, park, leave, or store any of the following items for any period of time in excess of one hundred twenty(120) consecutive hours within the areas described in Section 17.76.010.B:
1.
Any motor vehicle, except motor vehicles in fully operational condition and currently registered and licensed for operation on public highways and in normal daily use;
2.
Trailers of any kind or make, airplanes, graders, tractors and other similar types of equipment;
3.
Recreational vehicles, including but not limited to, motor homes, dirt bikes, off-road vehicles, boats, water craft, snowmobiles, or unmounted camper bodies;
4.
Part of any of the above described items;
5.
Building or construction materials except those materials required for work under construction on the premises stored thereon during the time a valid building permit is in effect for such construction; or
6.
Trash, garbage or refuse and receptacles therefore.
B.
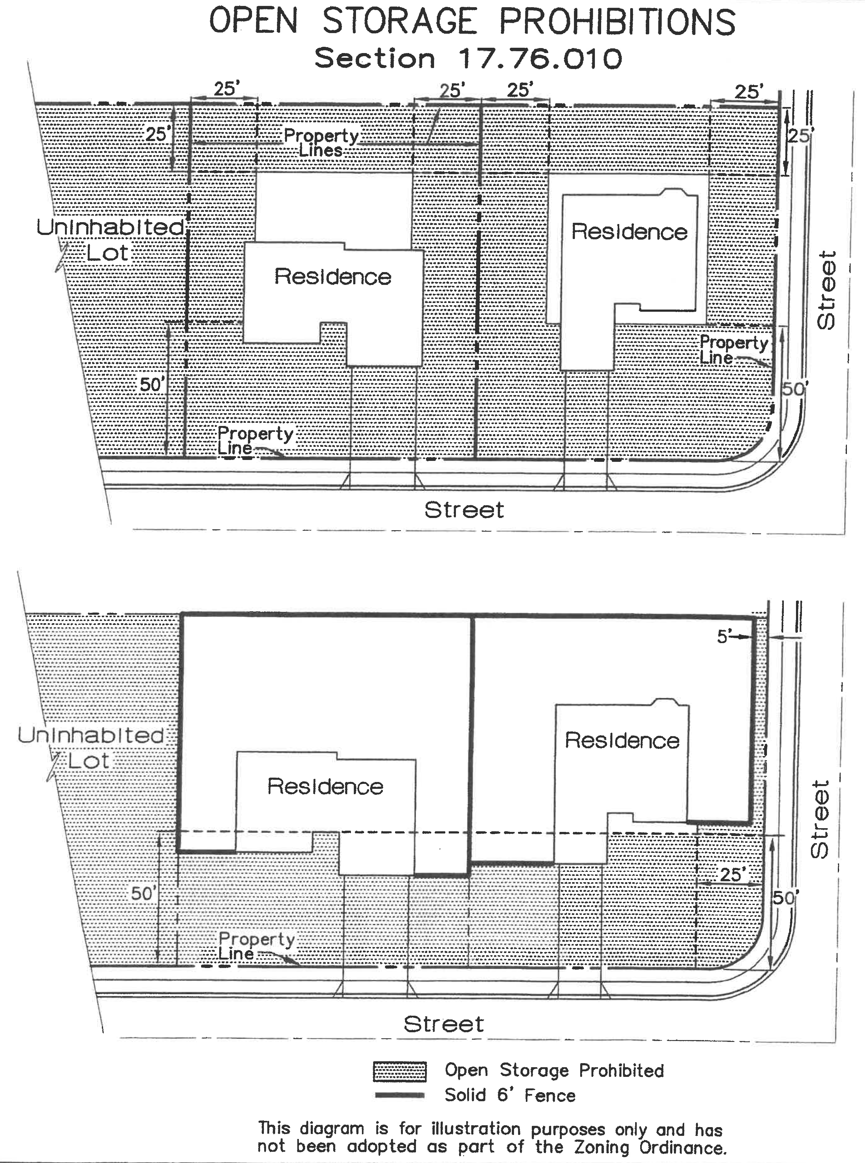
The restrictions in Section 17.76.010.A. apply to the following lots and areas of lots;
1.
Any portion of an uninhabited lot situated within any residential or Planned Development (residential) district, or any portion of a vacant lot in a non-residential district unless for use in connection with a legally-established activity thereon;
2.
An area fifty (50) feet deep measured into any lot within any district from the front lot line, extending the full width of the lot between the side lot lines, unless for use in connection with a legally-established activity in a non-residential district or substantially concealed from public view in accordance with Section 17.76.010.B.4.;
3.
An area twenty-five (25) feet deep measured into any lot within any district from the rear lot line (extending the full width of the lot between the side lot lines) and from the side lot lines (extending the full length of the lot between the front and rear lot lines), unless substantially concealed from public view in accordance with Section 17.76.010.B.4.; and
4.
The areas of lots described in Sections 17.76.010.B.2. and 3. may be used for storage when such items are substantially concealed from public view by a legally-constructed six-foot solid fence (or other structure) which does not protrude toward the street beyond the front corner of the residence, garage, or building on the premises nearest to the stored items.
(Ord. 375, 2004)
Any of the property described in Section 17.76.010.A., which has been stored within and on any of the areas described in Section 17.76.010.B. for less than one hundred twenty (120) consecutive hours and then removed, shall not be again stored within such areas at any time within one hundred twenty (120) hours after removal therefrom.
(Ord. 375, 2004)
The Director shall have the power, in cases of practical difficulty or reasonably unnecessary hardship, to grant temporary storage permits for the storage of motor vehicles, trailers, boats, cargo storage containers, and building materials in the restricted areas described in Section 17.76.010.B. for limited periods of time in excess of one hundred twenty (120) consecutive hours. Application for such storage permits shall be in writing, on forms furnished by the City, and accompanied by a fee in such amount as may be fixed from time to time by resolution of the City Council. Any permit issued pursuant thereto shall be in writing, shall describe the personal property to be stored, and the location and time limit of the storage. The Director may impose reasonable conditions (including the posting of a bond or other financial security instrument acceptable to the Director) as a part of any temporary storage permit, which shall be agreed to in writing on the face of the permit by the applicant prior to the permit being issued. There shall be no appeal from a refusal to issue any such temporary storage permit, and upon any such refusal the applicant, in lieu of appeal, may apply for a variance under the provisions of Chapter 17.52.
(Ord. 375, 2004)
76 - OPEN STORAGE3
Sections:
State Law reference— For statutory provisions authorizing cities to regulate the use of lots, yards, and other open spaces, see Gov't Code Sec. 65850.
A.
No person, firm, corporation, other entity, or owner shall personally, or permit others to, park, leave, or store any of the following items for any period of time in excess of one hundred twenty(120) consecutive hours within the areas described in Section 17.76.010.B:
1.
Any motor vehicle, except motor vehicles in fully operational condition and currently registered and licensed for operation on public highways and in normal daily use;
2.
Trailers of any kind or make, airplanes, graders, tractors and other similar types of equipment;
3.
Recreational vehicles, including but not limited to, motor homes, dirt bikes, off-road vehicles, boats, water craft, snowmobiles, or unmounted camper bodies;
4.
Part of any of the above described items;
5.
Building or construction materials except those materials required for work under construction on the premises stored thereon during the time a valid building permit is in effect for such construction; or
6.
Trash, garbage or refuse and receptacles therefore.
B.
The restrictions in Section 17.76.010.A. apply to the following lots and areas of lots;
1.
Any portion of an uninhabited lot situated within any residential or Planned Development (residential) district, or any portion of a vacant lot in a non-residential district unless for use in connection with a legally-established activity thereon;
2.
An area fifty (50) feet deep measured into any lot within any district from the front lot line, extending the full width of the lot between the side lot lines, unless for use in connection with a legally-established activity in a non-residential district or substantially concealed from public view in accordance with Section 17.76.010.B.4.;
3.
An area twenty-five (25) feet deep measured into any lot within any district from the rear lot line (extending the full width of the lot between the side lot lines) and from the side lot lines (extending the full length of the lot between the front and rear lot lines), unless substantially concealed from public view in accordance with Section 17.76.010.B.4.; and
4.
The areas of lots described in Sections 17.76.010.B.2. and 3. may be used for storage when such items are substantially concealed from public view by a legally-constructed six-foot solid fence (or other structure) which does not protrude toward the street beyond the front corner of the residence, garage, or building on the premises nearest to the stored items.
(Ord. 375, 2004)
Any of the property described in Section 17.76.010.A., which has been stored within and on any of the areas described in Section 17.76.010.B. for less than one hundred twenty (120) consecutive hours and then removed, shall not be again stored within such areas at any time within one hundred twenty (120) hours after removal therefrom.
(Ord. 375, 2004)
The Director shall have the power, in cases of practical difficulty or reasonably unnecessary hardship, to grant temporary storage permits for the storage of motor vehicles, trailers, boats, cargo storage containers, and building materials in the restricted areas described in Section 17.76.010.B. for limited periods of time in excess of one hundred twenty (120) consecutive hours. Application for such storage permits shall be in writing, on forms furnished by the City, and accompanied by a fee in such amount as may be fixed from time to time by resolution of the City Council. Any permit issued pursuant thereto shall be in writing, shall describe the personal property to be stored, and the location and time limit of the storage. The Director may impose reasonable conditions (including the posting of a bond or other financial security instrument acceptable to the Director) as a part of any temporary storage permit, which shall be agreed to in writing on the face of the permit by the applicant prior to the permit being issued. There shall be no appeal from a refusal to issue any such temporary storage permit, and upon any such refusal the applicant, in lieu of appeal, may apply for a variance under the provisions of Chapter 17.52.
(Ord. 375, 2004)