DEVELOPMENT STANDARDS
ARTICLE 5 DEVELOPMENT STANDARDS
The development standards of this article shall be applicable to all site development and to all subdivisions in the city or to all subdivisions outside the city limits of Farmington, but lying within five miles of the city, as authorized by NMRS, 1978 §§ 3-21-1 through 3-21-12, as amended, except as otherwise specified herein. No development permit, building permit, certificate of occupancy, or grading permit (Municipal Code, section 12-4-1) shall be approved until all of the applicable standards of this Article 5, development standards, are met.
5.2.1 Purpose. In order that the public health, safety, general welfare, and convenience may be furthered through the orderly application of laws concerning parking facilities, the purpose of this section is to:
A.
Improve the design of parking facilities to maximize convenient access to homes and businesses with minimal vehicle or pedestrian conflict.
B.
Implement construction standards for surfacing materials, design criteria for stall dimensions, approach widths, and locations to ensure efficiency, usability and a reasonable life expectancy for parking facilities.
C.
Provide a minimum acceptable number of off-street parking spaces in association with any use or building which is to be erected, substantially enlarged, or changed from one principal use to another.
D.
Facilitate maximum land utilization between business types through encouragement of shared parking facilities.
5.2.2 Applicability.
A.
New development. The off-street parking and loading standards of this section shall apply to any new structure constructed.
B.
Expansions and alterations. The off-street parking and loading standards of this section shall apply when an existing structure or use is expanded or enlarged. Additional off-street parking and loading spaces shall be required to serve only the enlarged or expanded area, provided that in all cases the number of off-street parking and loading spaces provided for the entire use (pre-existing + expansion) must equal at least 75 percent of minimum ratio established in the off-street parking schedule "A" (subsection 5.2.3A.) of this section.
C.
Change of use. Off-street parking and loading must be provided for any change of use or manner of operation that would, based on the off-street parking schedule "A" (subsection 5.2.3A.) or the off-street loading schedule of this section, result in a requirement for more parking or loading spaces than the existing use.
D.
Exception for CB district. The requirements of this section shall not apply in the CB, Central Business, district.
5.2.3 Minimum off-street parking requirements.
A.
Schedule A. Unless otherwise expressly stated in this UDC, off-street parking spaces shall be provided in accordance with the following off-street parking requirements. Where this UDC provides options for calculating the parking requirement the smaller number of parking spaces shall apply. The Director or designee reserves the right to require a parking study be completed by a qualified professional for uses with unique operating characteristics or where Schedule A requirements are unsatisfactory.
Schedule A
Off-Street Parking Requirements
1.
The community development director or designee, may reduce the required schedule A parking minimum based on the following:
a.
Multifamily and nonresidential parking minimums may be reduced by a maximum of ten percent if the establishment is within one-quarter mile of an established public transit stop. Distance shall be measured from closest property line to the nearest public transit stop location.
b.
Parking minimums may be further reduced based on an analysis of a parking study and/or other supporting documentation.
B.
Schedule B. Schedule B uses have widely varying parking demands, making it difficult to specify a single requirement. The off-street parking requirement for such uses shall be established by the director or designee based on estimates of parking demand, which may include recommendations of the Institute of Traffic Engineers (ITE), data collected from uses that are the same or comparable to the proposed use, or other relevant information. The director or designee may require that the applicant submit a parking study that provides analysis and justification for the proposed number of spaces to be provided. Parking studies shall document the source of data used to develop the recommendations. The director or designee shall review the submitted study along with any other traffic engineering and planning data that are appropriate and establish the off-street parking or loading requirements for the use proposed.
5.2.4 Minimum off-street loading space requirements.
A.
Every building (or part thereof) erected or occupied for retail business, service, manufacturing, storage, warehousing, hotel, mortuary, or any other use similarly involving the receipt or distribution by vehicles or materials or merchandise, shall provide and maintain on the same premises loading space in accordance with the following requirements:
B.
In addition to the above required off-street loading spaces, the director or designee may require additional spaces if, in his opinion, a given use or extraordinary site characteristics warrant them.
5.2.5 Rules for computing parking and loading requirements. The following rules shall apply when computing the number of parking and loading spaces required under this section:
A.
Fractions. When calculation of the number of required spaces results in a fractional number, a fraction shall be rounded down to the next whole number.
B.
Multiple uses. When two or more uses or separate establishments are located within the same development, off-street parking shall be provided for each use or separate establishment unless a shared parking plan is approved under the provisions of subsection 5.2.8C. If one or more uses within a multi-use development are of a size that would otherwise exempt them from compliance with off-street parking requirements, only one such exemption shall be permitted to be taken for the entire development.
C.
Floor area. Unless otherwise expressly stated, all square footage-based off-street parking and loading standards shall be computed on the basis of the sum of the gross horizontal floor areas of all the floors of a building or structure. Such floor areas shall be measured from the exterior faces of exterior walls or from the centerline of walls separating two buildings or structures, but excluding stairwells (at each floor), elevator shafts and floors or parts of floors devoted exclusively to vehicular parking or loading.
D.
Seating.
(1)
When seating consists of benches, pews or other similar seating facilities, each 24 linear inches of seating space shall be counted as one seat.
(2)
Where parking requirements relate to movable seating in auditoriums and other assembly rooms, 15 square feet of floor area shall be construed to be equal to one seat, except where otherwise specified. Floor area shall be the actual area occupied by seating and related aisles, and shall not include accessory unoccupied areas or the thickness of walls.
(3)
Outdoor seating shall be included in the required parking calculations.
E.
Employees, students and other occupants. For the purpose of computing parking requirements based on the number of employees, students, residents or occupants, calculations shall be based on the largest number of persons working on any single shift, the maximum enrollment or the maximum fire-rated or licensed capacity, whichever is applicable. In hospitals, bassinets shall not be counted as beds.
F.
New and unlisted uses. Upon receiving a development application for a use not listed in the parking and loading schedules of this section, the director or designee shall apply the standards of the listed use that is deemed most similar to the use proposed or require that a parking study be submitted pursuant to the requirements of subsection 5.2.3B., Schedule B.
5.2.6 Off-street parking location.
A.
Except as otherwise expressly provided in this section, required off-street parking spaces shall be located on the same lot as the principal use (See: Section 5.2.7, alternative parking plans).
B.
Off-street parking shall be permitted in the required front yard of any residential district, provided that:
(1)
No more than 50 percent of the required front yard setback may be used for off-street parking or for a driveway providing access to a garage, carport or parking area located behind the front yard setback. This subsection shall not preclude construction of circular drives in accordance with subsection 5.2.11.F(4).
(2)
No recreational vehicles, except truck-mounted campers utilized for everyday transportation, may be parked within seven feet of the back curbline, or in the street as specified in Municipal Code, sections 25-4-9 and 25-4-10.
(3)
Off-street parking locations in residential districts. No off-street parking in the front yard setback shall be permitted except upon a designated parking area meeting the surfacing and maintenance requirements found in section 5.2.11.C and access management standards found in section 5.3.
C.
No residential garage shall be modified or converted to prevent its use as a parking structure unless there is on-premises, off-street parking in compliance with this section; provided, however, that this provision shall not apply to lots in subdivisions approved prior to the adoption of Ordinance Number 444 on April 9, 1969.
D.
Whenever possible, multifamily and nonresidential parking lots shall be located at the side or rear of buildings, avoiding street-front parking except where the rear or side property line abuts a residential district.
(1)
Multifamily. A dwelling unit density bonus of up to 15 percent shall be allowed where all required off-street parking is located at the side and/or rear of buildings.
(2)
Nonresidential. A reduction in the front yard minimum setback of up to 25 percent shall be allowed where all required off-street parking is located at the side and/or rear of buildings.
(3)
In no case shall parking interfere with the street frontage landscaping required for multifamily and nonresidential uses by section 5.5.5.
5.2.7 Commercial vehicle restrictions in residential districts.
A.
Except as provided in subsection B. below, all "commercial vehicles," including self-propelled vehicles with or without trailers, having a weight class of 11,501 gross vehicle weight rating (GVWR) or more individually, or combined, and all commercial trailers, are prohibited from parking in any residential zoning district (street or lot).
B.
The parking of a commercial vehicle in a residential zoning district (street or lot), is permitted, provided that:
(1)
Said commercial vehicle is standing on a temporary basis for the purpose of loading or unloading; or
(2)
Said commercial vehicle is providing other services common to residential areas.
C.
As used in this section, "commercial vehicle" shall mean a motor vehicle of a type required to be registered under the New Mexico Motor Vehicle Code or any other federal, tribal, state or foreign country motor vehicle code, which vehicle primarily is used or maintained for the transportation of persons for hire, compensation, or profit, or designed, used or maintained primarily for the transportation of property, goods, wares, equipment or merchandise for sale to customers. However, a vehicle registered as a "horseless carriage" or "classic vehicle" under the New Mexico Motor Vehicle Code shall not be considered a commercial vehicle.
D.
Commercial vehicles parked in residential districts after the January 1, 2008, effective date of the Unified Development Code (UDC) shall not be allowed to continue in violation of this section after June 1, 2008, and the provisions of sections 9.1.1, 9.1.2 and 9.1.3 of the UDC (sometimes referred to as "grandfather" clauses), shall not apply to the commercial vehicles which are the subject of this section.
E.
Any violation of this chapter shall be punished in accordance with section 1-1-10 of the Farmington City Code as noted in section 10.3 of the UDC.
5.2.8 Alternative parking plans. The director or designee shall be authorized to approve alternatives to providing the number of off-street parking spaces required by off-street parking Schedule "A" (subsection 5.2.3A.) in accordance with this subsection.
A.
General.
(1)
Procedure. Alternative parking plans shall be reviewed and approved in accordance with the procedures of section 8.13, administrative adjustments.
(2)
Recordation of approved plans. An attested copy of an approved alternative parking plan must be filed in the community development department. An alternative parking plan may be amended by following the same procedure required for the original approval. The applicant shall provide proof of recordation prior to approval of the building permit.
(3)
Violations. Violations of an approved alternative parking plan constitute a violation of the Code and will be subject to the enforcement and penalty provisions of Article 10.
B.
Off-site parking. The director or designee may approve the location of required off-street parking spaces on a separate lot from the lot on which the principal use is located if the off-site parking complies with the all of the following standards:
(1)
Ineligible activities. Off-site parking may not be used to satisfy the off-street parking standards for residential uses. Required parking spaces reserved for persons with disabilities may not be located off-site.
(2)
Location. No off-site parking space may be located more than 300 feet from the primary entrance of the use served (measured along the shortest legal pedestrian route) unless remote parking shuttle bus service is provided. Off-site parking spaces may not be separated from the use served by a street right-of-way with a width of more than 60 feet, unless a grade separated pedestrian walkway is provided, or other traffic control or remote parking shuttle bus service is provided.
(3)
Zoning classification. Off-site parking areas require the same or a more intensive zoning classification than required for the use served.
(4)
Agreement for off-site parking.
a.
In the event that an off-site parking area is not under the same ownership as the principal use served, a written agreement between the record owners will be required. The agreement must guarantee the use of the off-site parking area for at least ten years. An attested copy of the agreement between the owners of record must be submitted to the director or designee for filing in form established by the city attorney. Prior to the issuance of a building permit or approval of a certificate of occupancy for any use to be served by off-site parking areas, filing of the agreement must take place in the community development department.
b.
An off-site parking agreement may be revoked only if all required off-street parking spaces will be provided, in accordance with section 5.2.3, minimum off-street parking requirements. No use shall be continued if the parking is removed unless substitute-parking facilities are provided, and the director or designee shall be notified at least 60 days prior to the termination of a lease for off-site parking.
C.
Shared parking. The director or designee may approve shared parking facilities for developments or uses with different operating hours or different peak business periods if the shared parking complies with the all of following standards:
(1)
Location. Shared parking spaces must be located within 300 feet of the primary entrance of all uses served, unless remote parking shuttle bus service is provided.
(2)
Zoning classification. Shared parking areas require the same or a more intensive zoning classification than required for the use served.
(3)
Shared parking study. Those wishing to use shared parking as a means of satisfying off-street parking requirements must submit a shared parking analysis to the director or designee that clearly demonstrates the feasibility of shared parking. The study must be provided in a form established by the director or designee and made available to the public. It must address, at a minimum, the size, and type of the proposed development, the composition of tenants, the anticipated rate of parking turnover and the anticipated peak parking and traffic loads for all uses that will be sharing off-street parking spaces.
(4)
Agreement for shared parking. A shared parking plan will be enforced through written agreement among all owners of record. An attested copy of the agreement between the owners of record must be submitted to the director or designee for recordation in a form established by the city attorney. Recordation of the agreement must take place before issuance of a building permit for any use to be served by the off-site parking area. A shared parking agreement may be revoked only if all required off-street parking spaces will be provided, in accordance with section 5.2.3, minimum off-street parking requirements.
D.
Other eligible alternatives. The director or designee may approve any other alternative to providing off-street parking spaces on the site of the subject development if the applicant demonstrates to the satisfaction of the director or designee that the proposed plan will do at least as good a job protecting surrounding neighborhoods, maintaining traffic circulation patterns and promoting quality urban design than would strict compliance with otherwise applicable off-street parking standards.
E.
Use of off-street parking areas. Required off-street parking areas are to be used solely for the parking of licensed, motor vehicles in operating condition. Required spaces may not be used for the display of goods for sale or lease or for long-term storage of vehicles, boats, motor homes, campers, mobile homes, or building materials.
5.2.9 Vehicle stacking areas. The vehicle stacking standards of this subsection shall apply unless otherwise expressly approved by the director or designee.
A.
Minimum number of spaces. Off-street stacking spaces shall be provided as follows:
B.
Size. Stacking spaces must be a minimum of nine feet by 20 feet in size.
C.
Location. Stacking spaces may not impede on- or off-site traffic movements or movements into or out of off-street parking spaces.
D.
Design. Stacking spaces must be separated from other internal driveways by raised medians if deemed necessary by the director or designee for traffic movement and safety.
5.2.10 Accessible parking for physically handicapped persons. A portion of the total number of required off-street parking spaces in each off-street parking area shall be specifically designated, located, and reserved for use by persons with physical disabilities; or current New Mexico Building Code requirements.
A.
Number of spaces. The minimum number of accessible spaces to be provided shall be a portion of the total number of off-street parking spaces required, as determined from the following schedule. Parking spaces reserved for persons with disabilities shall be counted toward fulfilling off-street parking standards.
B.
Location. Accessible parking spaces shall be located on the shortest accessible route of travel from adjacent parking to an accessible building entrance. In parking facilities that do not serve a particular building, accessible parking spaces shall be located on the shortest route to an accessible pedestrian entrance to the parking facility. Where spaces have multiple entrances with adjacent parking, accessible parking spaces shall be disbursed and located near the accessible entrances.
(1)
Exception. In multilevel parking structures, van-accessible parking spaces are permitted on one level.
C.
Minimum dimensions. All parking spaces reserved for persons with disabilities shall comply with the parking space dimension standards of this section, provided that access aisles shall be provided immediately abutting such spaces, as follows:
(1)
Minimum width. Notwithstanding other provisions to the contrary, minimum width for spaces reserved for persons with disabilities shall be eight feet.
(2)
Car-accessible spaces. Car-accessible spaces shall have at least a five-foot wide access aisle abutting the designated parking space.
(3)
Van-accessible spaces. Van-accessible spaces shall have at least an eight-foot wide access aisle abutting the designated parking space.
(4)
Signs and marking. Required spaces for persons with disabilities shall be identified with signs and pavement markings identifying them as reserved for persons with disabilities. Signs shall be posted directly in front of the parking space at a height of no less than 42 inches and no more than 72 inches above pavement level.
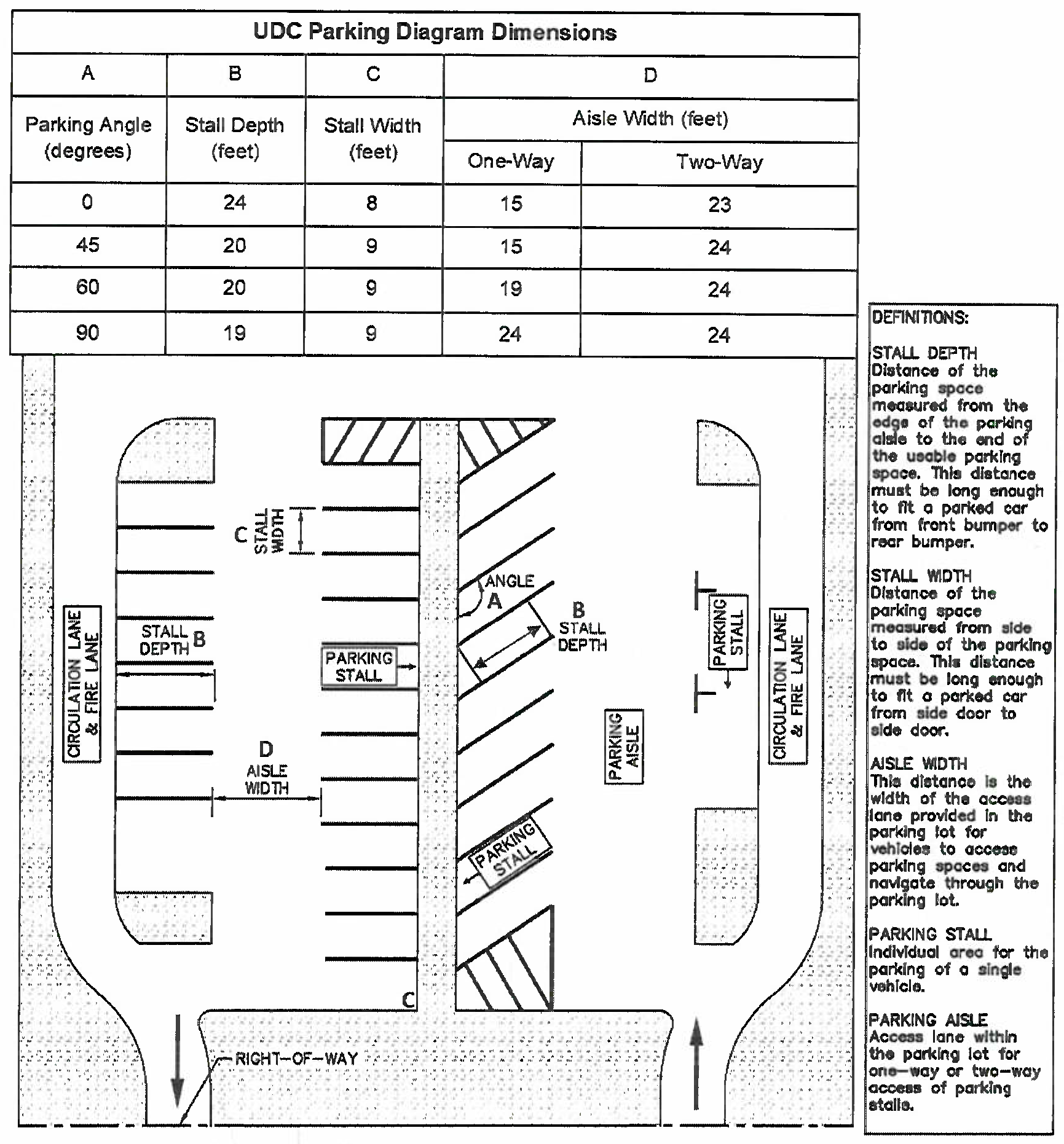
5.2.11 Parking design standards.
A.
Markings.
(1)
Required parking spaces shall be permanently and clearly designated. Each such parking space and off-street parking facility shall be identified by surface markings and shall be maintained in a manner so as to be readily visible and accessible at all times. Such markings shall be arranged to provide for orderly and safe loading, unloading, parking, and storage of vehicles. Marking required to be maintained in a highly visible condition include striping, directional arrows, lettering on signs and in handicapped designated areas, and field color.
(2)
One-way accesses into required parking facilities shall be identified by directional arrows. Any one-way access shall be identified by directional sign "do not enter." Any two-way access located at any angle other than 90 degrees to a street shall be marked with a traffic separation stripe the length of the access. This requirement does not apply to aisles.
(3)
The director or designee may require additional internal circulation guides or regulation of speed by means of signage, pavement markings, speed bumps, raised curbs or like devices for parking areas accommodating 20 or more vehicles.
B.
Parking barriers. All parking areas for multifamily and nonresidential uses shall have barriers that prevent vehicles from extending more than two feet over on-site private landscaping. Such barriers shall prevent vehicles from extending over sidewalks or adjoining property in all cases.
C.
Surfacing and maintenance.
(1)
All off-street parking areas, alleys and access easements for new residential development, and new or redevelopment of commercial properties shall be paved and maintained in a dust-free, well-drained, serviceable condition at all times. Minimum surfacing shall consist of two inches of asphaltic concrete over a four-inch compacted subgrade or surface of similar or superior characteristics approved by the director or designee, except where section 5.3 provides for a lesser standard. Such construction shall meet city standards and specifications.
(2)
Resurfacing, sealing or restriping of a parking area requires review and approval of the director or designee to ensure retention of correct number of required parking spaces including ADA spaces.
(3)
Surfacing of industrial storage yards, vehicle storage yards, or like uses, not including employee parking, which require outside or vehicular storage shall be a minimum of four inches of gravel road base and maintained in a dust free condition.
D.
Dimensions. Required off-street parking spaces shall comply with the following minimum dimensional standards:
E.
Vertical clearance. Vertical clearance for off-street parking spaces shall be seven feet.
F.
Layout of internal circulation system.
(1)
The layout of the circulation system shall be designed to provide access between parking spaces and streets, and to accommodate vehicular traffic and pedestrians safely and efficiently with a minimum impact on adjacent properties.
(2)
The layout of the circulation system shall be adapted to the site, taking into consideration physical factors such as natural elements, grade, and drainage, as well as aesthetic factors, such as the visual impact of the street pattern and the highlighting of special site features.
(3)
Parking areas shall be designed to provide for internal circulation in which no backing movement is needed except that required to leave a given stall. It should be possible to maneuver within any parking area without use of public right-of-way and so roadway ingress can be made in a forward manner.
(4)
No backing onto public streets shall be allowed for any nonresidential or multiple family residential use. Backing onto dedicated alleys or private access easements is permitted as is backing from single and two-family residential dwellings onto local streets, but circular drives or similar accommodations must be provided for all new residential construction fronting on collector or arterial streets as designated on the city's major thoroughfare plan.
(5)
Alleys may be used as maneuvering space for access to off-street parking, subject to adequate sight distance and approval by the director or designee.
(6)
All parking proposed to be located in public right-of-way must be approved for an encroachment permit by the director or designee.
G.
Aisle widths. Aisles adjoining off-street parking spaces shall conform to the most recent City of Farmington "Design & Construction Standards with Technical Specification" and shall comply with the following dimensional standards.
5.2.12 Loading design standards. Off-street loading spaces shall meet the following design requirements:
A.
Location. All required loading berths shall be located on the same lot as the use served. No loading berth shall be closer than 50 feet to any private property in a residential district. No permitted or required loading berth shall be located within 25 feet of the nearest point of intersection of any two streets. No loading berth shall be constructed on the front of a building located in the PIP district.
B.
Dimensions. Each off-street loading space shall be a minimum of 12 feet in width and 45 feet in length, with a vertical clearance of at least 15 feet. Such spaces shall be at grade level or lower and on the same parcel of land as the corresponding building, use, or structure.
C.
Maneuvering area. Adjacent public rights-of-way and private properties shall not be used for maneuvering. All maneuvering shall be contained on-site. Maneuvering areas for loading facilities shall not conflict with parking spaces or with the maneuvering areas for parking spaces. Minimum turning radius for 180 degrees shall not be less than 25 feet.
D.
Screening. All loading spaces and areas shall be adequately screened from view along rights-of-way and from any residential areas.
E.
Surfacing and maintenance. Parking areas shall be maintained level and serviceable, with provision for drainage of standing water. Minimum surfacing shall consist of two and one-half inches of asphaltic concrete over a six-inch compacted subgrade or surface of similar or superior characteristics approved by the city engineer.
(Ord. No. 2011-1248, § 1, 7-12-2011; Ord. No. 2021-1325, 3-9-21; Ord. No. 2022-1335, 1-25-22; Ord. No. 2025-1373, 6-10-25)
5.3.1 Purpose. To manage street access in a safe manner. The number of private access points allowed will depend on the functional classification of the roadway, whether the requested curb cut is located in a residential or nonresidential area and the length of the front property line measured along the adjacent street. Limitations shall be administered to site access along high average daily traffic (ADT) corridors and other areas where the goal is to minimize traffic flow interruptions.
5.3.2 Street access per functional classification. No use shall be permitted to take direct access to a street except as allowed in this section.
A.
Single-family residential.
(1)
Lanes, alleys and local streets. All single-family residential uses shall take direct access to local streets.
(2)
Collector streets. Single-family residential uses shall not take direct access to a collector street, except when a local street is not available. A single-family dwelling may take direct access to collector streets that primarily serve residential purposes.
(3)
Arterial streets, minor and principal. Single-family residential uses shall not take direct access to arterial streets. When there is no alternative and a single-family residential use takes access to an arterial street, the point of access shall be directly across from another existing point of access, or spaced at least 200 feet from any intersecting street or other point of access to the arterial.
B.
Multi-family and nonresidential.
(1)
Access for multi-family and nonresidential uses shall be provided by a collector or arterial street. Access by a local street may be approved by the director or designee only when access to a collector or arterial street is not available.
5.3.3 Driveways and curb cuts (all development). All driveways and parking lot entrances and exits shall be subject to the approval of the director or designee and the following requirements:
(1)
Shared driveways. Shared driveways shall be allowed and may be required by the director or designee at the time of platting, or as a replat of the affected lots.
(2)
Abandoned driveway. any abandoned curb cuts shall be replaced with sidewalk, curb, and gutter by the property owner. As a part of any Community Works roadway projects, after 30-day notice, the city may close abandoned site accesses.
(3)
Requested driveway point removal. The Director may consider the removal of any excessive curb cuts per this section.
A.
Driveways and curb cuts for residential properties.
Table 1
(1)
Residential driveways that straddle property lines, or are entirely on one property but used by another property, shall have a recorded access easement. Sufficient area behind the driveway apron shall be provided for the proper operation of the curb cut.
(2)
For residential properties with a minimum of 80-feet of frontage adjacent to the roadway two driveways may be installed upon approval of the director or designee.
a.
For residential properties with interior lots with two access points, driveways shall be spaced a minimum 30 feet from each other unless otherwise approved by the director or designee.
(3)
Driveways shall be a minimum of five feet from the side interior adjacent property lines.
(4)
Driveways located on corner properties shall be located five feet from the beginning of the curve at the curb line, or 25 feet from the property line. The greater distance will be the deciding factor.
(5)
Any existing residential driveways that access arterial or collector streets directly may install a circular driveway. All frontage and safe sight triangle requirements shall be met and approved by the director or designee.
(6)
Driveways shall have sufficient area behind the drive pad for the proper operation of the curb cut. The minimum length of a driveway shall be 20-feet, or as otherwise determined by the director or designee.
(7)
Attached dwelling units shall utilize a shared driveway where possible.
a.
Shared access driveways may be separated beyond the back of the sidewalk.
b.
The maximum width of the shared access point allowed is 36 feet.
c.
Shared driveways shall be evaluated on a case-by-case basis for unique safety concerns.
(8)
The maximum average slope of a residential driveway is two in 12 or 16 percent.
(9)
The required egress door from a residence is required to have a connection to the public way with a ramp or stairs or combination of, constructed to the adopted residential code.
B.
Paving requirements for residential driveways.
(1)
All required parking areas for residential units shall be connected to a public street or alley by means of a driveway or private access easement. All driveways providing access to such parking areas shall be paved, except as follows:
a.
In the RA district, RE-1 district, RE-2 district and RE-20 district, driveways shall be:
i.
Surfaced with a minimum of six inches of gravel road base, and
ii.
Have a paved drive pad 20 feet in depth and the minimum width of driveways adjoining paved streets.
(2)
Driveways for properties with an existing mobile or manufactured home that are replaced with a newer or upgraded unit shall consist of at a minimum a compacted all-weather surface with a ten-foot-wide concrete apron.
(3)
No more than 50 percent of the front yard shall be covered with concrete or asphalt. (See section 5.2.6.B.(2))
C.
Maximum curb cut width. Curb cuts shall conform to the following maximum width requirements. Measurement shall take place on the gutter line and does not include transition.
(1)
Residential. Maximum width of curb cuts accessing residential uses only shall be as follows:
a.
Curb cuts accessing one-car garages, carports or paved driveway: 12 feet.
b.
Curb cuts two-car garages, carports or paved driveway: 24 feet.
c.
Curb cuts three-car garages, carports or paved driveway: 36 feet.
d.
The maximum curb cut for any residential property shall not exceed 36 feet.
(2)
Nonresidential. Maximum width of driveways accessing nonresidential uses shall be determined by the city or state (NMDOT) authority having jurisdiction over the roadway from which access is being taken. The width of a landscaped center median shall not count towards this standard. Prior to approval of a curb cut for a nonresidential use, the property owner shall provide detail as to what types of vehicles the curb cut is designed to accommodate.
a.
The driveway width requirement may require a trip generation report produced by the nonresidential property owner as determined by the director or designee.
Table 2
Driveway Widths
D.
Emergency turnarounds-all uses. Internal emergency vehicle turnarounds shall be provided as required by the fire code.
Table 3
Curb Return Radii by Design Vehicle
E.
Turn radius—All uses. Minimum turn radii requirements are listed below unless otherwise approved by the director or designee.
5.3.4 Street intersections and curb cut separations-nonresidential uses.
A.
Curb cuts for multi-family, mixed use, and nonresidential sites.
(1)
Location of site access points should include the following considerations:
a.
Minimum distance from an intersection.
b.
Maximum number of site access points allowed by corridor type per site.
(2)
Driveways accessing industrial yards, vehicle storage yards or like uses, not including employee parking, which require outside or vehicular storage shall be:
a.
Surfaced with a minimum of six inches of gravel road base, and
b.
Have a three inch paved drive pad 20-feet in depth and the width of driveways adjoining paved streets.
B.
Nonresidential driveway/curb cuts site distances from an intersection.
Table 4
All Other Nonresidential Access Separations from Intersections
(1)
In determining driveway access separations from intersections, the following standards found in Table 4 shall apply. Measurement shall be from the curbline extension of the intersecting street to the driveway.
(2)
A written request to shorten the distance of any nonresidential access point may be submitted to the director or designee. If approved, only a right-in and right-out access will be granted.
C.
Curb cut separation on highways. Curb cut separation on highways shall be subject to the approval of both the director or designee and New Mexico Department of Transportation (NMDOT). Recorded easements for shared access, provision of acceleration/deceleration lanes, TIA traffic signals and other right-of-way improvements for these cuts may be required.
D.
Curb cut separation on arterials. Curb cut separation on arterials (principal and minor) other than state highways shall be subject to the approval of the director or designee. Recorded easements for shared access may be required. Adjoining parcels under common ownership may be required to share a curb cut. A TIA and associated improvements may be required.
(1)
Commercial property curb cut separations on arterial streets.
a.
The number of full access driveways shall be based on the frontage the property shares with the adjacent roadway as outlined in the table below.
Table 5
Number of Allowable Curb Cuts on Arterial Streets
(Excluding Pinon Hills Boulevard & NMDOT)
b.
Commercial property along an arterial street (principal or minor) with 150 feet or less of property lot width adjacent to the street shall only be allowed one driveway access point; if the business cannot be accessed by way of a collector or local street.
c.
Commercial property along an arterial street (principal or minor) with 151 feet to 250 feet of property lot width adjacent to the street may have two driveway access points if the property cannot be accessed by way of a collector or local street. These driveway access points should be evenly spaced within the property lot.
d.
Thereafter, each additional 100 feet or property lot width will allow for an additional driveway access point. Driveway access points within the property lines should be evenly spaced.
e.
Commercial driveways that have 100 linear feet of frontage property width adjacent to the roadway such as drive-thru restaurants may install two driveways that are entrance and exit only if there is no available driveway access on a collector or local street.
f.
Separation on Pinon Hills Boulevard and NMDOT right-of-way does not apply to this section.
E.
Curb cut separation on collectors. The number of full access driveways shall be based on the frontage the property shares with the adjacent roadway, subject to the approval of the director or designee.
(1)
Commercial properties along a collector street with 100-feet or less of property lot width adjacent to the street shall have a one driveway access point.
(2)
Commercial properties along a collector street with 101-feet to 200-feet of property lot width adjacent to the street, may have two driveway access points. These driveway access points should be evenly spaced within the property lot.
(3)
Each additional 100 feet of property lot width will allow for an additional driveway access point.
(4)
For commercial access points that enter into a gravel or dirt parking area, the paved drive pad apron shall extend a minimum length of 20 feet from the roadway while maintaining the same original driveway width. This requirement is to keep the gravel off the roadway. This requirement is both for new development, change of ownership or evidence of an existing traffic hazard.
(5)
Driveways to commercial and industrial properties having minimal frontage property width adjacent to the roadway may install two driveways that are entrance and exit only.
F.
Curb cut separation on local streets. Curb cut separation on local streets shall be subject to the approval of the director or designee and generally follow residential standards in the UDC and City specifications.
G.
Limited access. Corner parcels may be required to have all access from a side street or alley as determined by the director or designee. A nonvehicular easement may be required to restrict curb cuts to approved locations.
5.3.5 Signalized intersections required. Major employment sites and retail centers shall have access to a signalized intersection, unless waived by the director or designee based on a traffic impact analysis.
5.3.6 Corner setbacks and intersection visibility (safe sight triangle). The following standards shall apply at any corner of intersecting streets or driveways, except in the CB district; provided, however, the director or designee may modify the requirements of this section depending upon-site conditions and as necessary to protect public safety.
A.
No structure or planting (at mature growth) that exceeds three feet in height shall be permitted within a corner setback. Exceptions are permitted for utility poles, lighting standards, fire hydrants, mail boxes, city or state traffic signs, and trees (at mature growth) if the lower canopy allows a clear line of sight between three feet and seven feet above the street grade. A sign permitted by section 5.8 may be located within the intersection visibility area, provided, that visual clearance exists between three feet and seven feet above the ground.
B.
Corner setbacks for sight distance extend within the area formed by the legs of a triangle whose apex is the point of intersection of the rights-of-way lines of the adjacent streets.
C.
Corner setbacks for sight distance apply to the intersection of driveways with other driveways.
D.
The following minimum corner setbacks, measured in accordance with the requirements of subsection 5.3.6B., above, shall be required.
5.3.7 Easements.
A.
Utility easements. Uniform and continuous easements shall be provided along the front and side lot lines for utility service. Utility service shall not be permitted along rear lot lines without the approval of the director or designee. Easements for water, sewer, and storm sewer lines shall be at least 20 feet in width; however, greater widths may be required as necessary to maintain proper separation between water and sewer utilities. Other utility easements (for other than water, sewer, and storm sewer lines) shall be a minimum of five feet in width when abutting the street lot lines and at least three feet in width when abutting interior lot lines.
B.
Building within easements. No building or improvements shall be erected on said easements; provided, however, that fences, and patios or decks no more than 30 inches above grade are erected and maintained subject to the easement rights.
C.
Emergency access easements. The director or designee may require emergency access easements as prescribed by the fire chief or building official. Such easements shall be at least 24 feet in width. Emergency access easements may be divided by lot lines. Parking is prohibited in such easements in accordance with the adopted fire code, Farmington Municipal Code, section 13-3-1.
D.
Cross-access easements.
(1)
If a parcel is to be developed for any nonresidential land use, a cross-access easement shall be provided by the property owner to adjoining properties that front on the same street and that are, or may be, developed as nonresidential land uses.
(2)
Cross-access easements shall have a minimum width of 24 feet and shall be situated parallel to the street right-of-way line abutting both parcels. Access easements shall be maintained by the property owner.
(3)
The property owner shall provide appropriate documentation of a good faith effort to extend the access easement through all immediately abutting properties. If such an effort fails, the portion of the easement on the subject site shall be developed and designed to ensure future connection to the neighboring properties.
(4)
Where a cross-access easement is granted, no permanent structures that would interfere with the proposed access shall be permitted in the easement. Some improvements such as medians and parking islands may be constructed within an access easement if it has been demonstrated that adequate circulation and cross-access has been accomplished, and that all applicable standards of this UDC have been met.
(5)
The director or designee may waive the requirement for an easement of access required above in those cases where unusual topography or site conditions would render such an easement of no useable benefit to adjoining properties.
(6)
The director or designee may approve the vacation of an easement of access in those cases where adjoining parcels are subsequently developed with a residential use.
5.4.1 Purpose. The purpose of this section is to provide for adequate privacy and security without impeding or obstructing vision at intersections.
5.4.2 Applicability. Unless otherwise expressly provided in this UDC, fences and walls shall comply with the following general standards.
5.4.3 Permit requirements. It shall be unlawful to install or construct or cause to be installed or constructed any fence or wall (including electric and barbed wire fences) without obtaining a building permit. All applications for fence or wall permits shall be submitted to the director or designee and shall be accompanied by a sketch or design of the proposed fence or wall and a site plan showing the location of the proposed fence or wall.
5.4.4 Fence and wall location and height. Fence and wall locations and heights shall be as follows unless otherwise specified in this UDC:
A.
Residential districts.
(1)
Fences and walls located in required front yards (setback) shall be limited to a height of three feet at the front right-of-way line, rising evenly to a maximum of 54 inches at setback line, and thereafter a maximum of six feet; provided, however that properties approved for horses in the RA, RE-2 and RE-1 districts may have front yard fences up to four feet in height. This provision shall not apply to open wrought iron fencing with low opacity.
(2)
Fences and walls not located in the required front yard (setback) shall be limited to six feet in height, unless engineered for stability.
(3)
On back-to-back corner lots a 15-foot street side yard is allowed. However, a fence or wall may be constructed on the property line, provided no driveway access (except RV parking) exists on the street side yard of the subject property or on the property to the rear. If driveway access exists on the subject property or on the lot to the rear, all structures, including fence or wall, must respect the 15-foot street side yard setback and intersection visibility as set forth [in] section 5.3.6.
(4)
Where a corner lot abuts an interior side yard of the property to the rear, there shall be a front yard setback on both streets with the street side yard being equal to the front yard of the lot to the rear, but in no case less than 15 feet. Fences must adhere to the location and height requirements of subsection 5.4.4A.(1).
B.
Nonresidential districts.
(1)
IND district. In the IND district, fences and walls shall be limited to eight feet in height, including any barbed wire.
(2)
All other nonresidential districts. In all other nonresidential districts, front yard fences and walls (those located between the road right-of-way and the front setback line) shall be limited to three feet in height, or up to eight feet using wrought iron open design (see section 2.8.2 for front yard setbacks). Fences and walls not located in the required front yard shall be limited to eight feet in height.
5.4.5 Visual obstructions. All fences, walls, and hedges shall be subject to the section 5.3.6, corner setback and intersection visibility (safe sight triangle).
5.4.6 Barbed wire and electric fences. Barbed wire and electric fences shall be subject to the following requirements:
A.
Use of barbed wire, razor wire, and/or electric fences shall be prohibited, except in IND district and the RA district.
B.
Where barbed wire, razor wire and/or electric fences are allowed, it shall be placed:
(1)
Not less than six feet from the ground at the fence line and shall not exceed eight feet in height, and
(2)
At least five horizontal feet from any sidewalk or area reserved for a sidewalk.
C.
Where the use of barbed wire or electrified fence is a threat to public safety, removal in part or whole may be required upon notification to the property owner.
5.4.7 Retaining walls. The retaining wall standards of this section are intended to reduce the visual impact of screening and retaining methods used on hillside developments. Specific criteria for design include the following:
A.
Walls visible from public rights-of-way, within the frontyard setback(s), shall either incorporate the use of native materials or complement the native surroundings.
(Ord. No. 2021-1325, 3-9-21)
5.5.1 Purpose. The section provides standards for the installation and maintenance of landscaping, walls, and screening devices in order to preserve and enhance the natural environment and beauty of the city, to minimize the adverse effects of development, and to promote the general welfare of the citizens of Farmington. Landscaping materials, including ground cover, shrubs, and trees facilitate the control of erosion and the reduction of glare and dust, and soften the visual impact of building masses. Walls and screening devices allow the separation of potentially incompatible uses and the buffering of road noise and intensive activities. Landscaping, walls and screening devices together, help to effectuate privacy, logical development, and enhancement of property values. In order to preserve the unique natural character of the city, these standards emphasize the retention of native trees, shrubs, rock formations, and other natural site features. To conserve water resources, use of drought-tolerant plant materials and efficient irrigation systems is encouraged. (See xeriscaping report provided in appendices).
5.5.2 Applicability. This section shall apply to all portions of street yards, as defined in section 11.1, terms defined, associated with the following development:
A.
All new construction, not including additions or modifications, in multifamily and nonresidential development;
B.
Enlargement exceeding 1,000 square feet or 30 percent of the floor area of an existing multifamily or nonresidential structure, whichever is greater, for which a building permit is required; including cumulative enlargements totaling 30 percent or 1,000 square feet or greater made over a period of five years;
C.
Expansion of an existing parking lot to accommodate additional parking (to apply to the expansion area only); and
D.
As otherwise specified in this UDC.
5.5.3 Right-of-way landscaping. Subject to the approval of appropriate city or state (NMDOT) authorities, all undeveloped portions of the adjacent right-of-way (not used for roads, sidewalks and other public improvements) shall be landscaped with trees, shrubs, grasses, ground cover or other organic and inorganic materials. At a minimum, landscaping is to include at least two different materials of different size, color and/or texture so as to create an attractive appearance in accordance with the requirements of this section. Smooth concrete or asphalt surfaces are not considered landscaping.
5.5.4 Open space landscaping. All disturbed soils of the building permit site not developed with buildings or required parking shall be landscaped with trees, shrubs, grasses, ground cover or other organic and/or inorganic materials in accordance with the requirements of this section before final certificate of occupancy may be issued. All of the requirements of this section (including requirements of section 5.5.5, street frontage landscaping; section 5.5.6, parking area landscaping; and subsection 5.5.6C., screening standards) shall be credited toward satisfaction of the following on-site open space landscaping planting area requirements:
A.
Landscape planting (organic) area.
(1)
Open space landscape areas equal to a minimum of five percent of the gross site shall be included as part of all developments in accordance with the requirements of this section.
(2)
"Planting area" includes lawn or native grass areas, as well as areas that will be covered by the shrub and tree canopy at maturity.
B.
Location of open space landscaping. Plant units required pursuant to this section shall be installed in required front and street side setback areas to the maximum extent possible.
C.
Plant units. At least one tree and five shrubs, perennials or ornamental grasses shall be provided per each 500 square feet of required open space landscaping. Greater densities of trees and shrubs are required in specific areas. Clustering of trees and shrubs is encouraged in all cases to promote a more natural appearance. Landscaped area includes lawn or native grass areas, as well as areas that will be covered by the shrub and tree canopy at maturity.
D.
Existing trees. Existing, mature trees located on all development sites shall be preserved to the extent practical, particularly within required setback areas. Such preserved, mature trees shall be credited on a 2:1 basis toward the tree planting requirements of subsection 5.5.4C., plant units.
5.5.5 Street frontage landscaping.
A.
Applicability. Street frontage landscaping, except adjacent to parking areas (See subsection 5.5.6A., below), shall be provided along street rights-of-way in accordance with the standards of this subsection.
B.
Relationship to other landscaping standards. Landscaping provided to meet the street frontage landscaping standards of this subsection may be counted towards meeting a project's open space landscaping requirements of section 5.5.4 above.
C.
Minimum width. The minimum width of required street frontage landscaping shall be ten feet; although this may be reduced to eight feet if at least 50 percent of the minimum required area is planted. On unusually shallow lots, the director or designee may approve reduced street frontage landscaping width for shallow lots equal to five percent of the depth of the lot or five feet, whichever is greater.
D.
Planting standards. Organic plantings must, at a minimum, meet the planting requirements provided in subsection 5.5.4C.
5.5.6 Parking area landscaping. Off-street parking areas shall be screened and landscaped in accordance with the requirements of this subsection. Screening shall be provided to a minimum of 30 inches above the highest adjacent, finished grade of the parking area. Such screening may be accomplished by the use of trees and hedges, earth berms, masonry walls, or combinations thereof. (See also subsection 5.5.4C., plant units).
A.
Applicability. Parking area landscaping shall be provided along street rights-of-way adjacent to parking areas, other adjacent parking areas and within 50 feet of parking areas in the LNC district, and as otherwise required by this Code in accordance with the standards of this subsection.
B.
Relationship to other landscaping standards. A five-foot landscaped buffer strip is required between parking areas. Parking area landscaping provided to meet the parking area landscaping standards of this subsection may be counted towards meeting a project's open space landscaping requirements of section 5.5.3, above.
C.
Parking areas terminal islands. Landscaped parking islands shall be provided for every 30 lineal parking spaces. Parking area islands shall have minimum interior dimensions of at least six feet in width and 15 feet in length. At least one tree shall be provided within each terminal island. Landscaped islands separating parking rows horizontally must be at least six feet wide. Trees in islands shall have a minimum height of eight feet of clearance from the ground to the canopy.
D.
Parking area center islands: Landscaped parking islands shall be provided for every 15 lineal parking spaces. Center islands may be aligned across traffic aisles or be off set.
5.5.7 Screening standards. Where screening is required by this UDC (see commentary below), screening shall be accomplished by the use of walls, fences, and/or dense plantings in accordance with the following standards:
A.
Height of screening devices.
(1)
Measurement. The height of screening devices shall be measured from the highest finished adjacent grade of the element to be screened.
(2)
Height. Minimum height of required screening shall be six feet or one foot taller than the item to be screened, whichever is less; provided, however, that the maximum height of screening devices within required front yard areas shall be limited in accordance with the requirements of section 5.4.4, fence and wall location and height.
B.
Relationship to other landscaping standards. Plantings utilized to meet the screening standards of this subsection may be counted towards meeting a project's open space landscaping requirements of section 5.5.3, above.
C.
Screening devices. All required screening shall be complementary and compatible with the surrounding general character and appearance of the neighboring area. In order to accomplish this goal, required screening shall include an opaque fence or wall, a dense planting of trees and shrubs, or a combination thereof. Where trees and shrubs are required, at least one tree and five shrubs shall be required for each 30 linear feet or required screening.
(1)
IND district and adjacent to nonresidential uses and districts. In the IND district and adjacent to nonresidential uses and districts, a minimum of a chain link fence with pre-woven opaque panels may be utilized; or a dense planting of trees and shrubs, or a combination thereof. Where trees and shrubs are used, at least one tree and five shrubs shall be required for each 30 linear feet of required screening.
(2)
All other districts and adjacent to residential uses and districts. In all other districts and adjacent to residential uses and districts, an opaque vinyl or wood fence or a masonry wall shall be utilized. Where trees and shrubs are used, at least one tree and five shrubs shall be required for each 30 linear feet of screening.
D.
Dumpsters. Common or shared trash dumpsters, trash receptacles, and waste/recycling containers shall be screened from view off-site. Such dumpsters, receptacles and containers shall be screened from public view on three sides by a solid wall at least six feet in height and oriented so that the dumpster has minimum impact and the least visibility from the street. A decorative gate and wall may be added and shall be maintained in good working order and shall remain closed except when trash pick-ups occur. The wall and gate shall be architecturally compatible with other buildings and structures on the site.
(Ord. No. 2011-1251, § 3, 10-25-11)
5.5.8 General requirements.
A.
Preparation of landscape and screening plans. Any proposed building, parking area or use shall be shown on a landscape or screening plan indicating the location of existing and proposed buildings, parking areas, street improvements, locations and types of landscaped areas, walls, and screening devices. All landscape plans detailing proposed installation shall be subject to review and approval by the city's landscape professional. Irrigation plans shall be submitted with the landscaping plans.
B.
Irrigation. Required landscaped areas shall in all cases be irrigated as necessary by an automatic system to maintain required plant materials in good and healthy condition. (City irrigation standards and guidelines are attached in section 13.5 as an appendix). Irrigation systems shall incorporate EPA's Water Sense best practices.
C.
Installation. All landscaping shall be installed in accordance with the approved landscape or screening plan and according to sound nursery practices in a manner designed to encourage vigorous growth. All landscape material and irrigation improvements shall be in place prior to issuance of the final certificate of occupancy unless an extension is approved by the director or designee and a deferred completion agreement is executed. Irrigation systems shall be installed by a licensed installer.
D.
Maintenance requirements. Trees, shrubs, fences, walls, irrigation improvements, and other landscape features depicted on plans approved by the city shall be considered elements of the project in the same manner as parking, building materials and other details are elements of the plan. The landowner, or successors in interest, or agent, if any, shall be jointly and severally responsible for the following:
(1)
Regular maintenance of all landscaping and irrigation improvements in good condition and in a way that presents a healthy, neat, and orderly appearance. All landscaping shall be maintained free from disease, pests, weeds, and litter. This maintenance shall include weeding, watering, fertilizing, pruning, mowing, edging, mulching or other maintenance, as needed and in accordance with acceptable horticultural practices;
(2)
The repair or replacement of required landscape structures (e.g., walls, fences) to a structurally sound condition; and
(3)
The regular maintenance, repair, or replacement, where necessary, of any landscaping required by this section. Any plant materials not surviving shall be replaced within 30 days of its demise or in the next appropriate season.
E.
Landscape material standards.
(1)
General design. Plant materials shall be selected for: energy efficiency and drought tolerance; adaptability and relationship to the Farmington environment; color, form and pattern; ability to provide shade; and soil retention. The overall landscape plan shall be integrated with all elements of the project, such as buildings, parking lots, and streets, to achieve a desirable microclimate and minimize energy demand.
(2)
Plant quality. Plants installed to satisfy the requirements of this section shall meet or exceed the plant quality and species standards of the New Mexico Association of Nursery Industries. Plants shall be adapted to the local area. No artificial plants or vegetation shall be used to meet any standards of this section unless approved by a landscaping plan.
(3)
Plant sizes and specifications. The following minimum plant size requirements shall apply to the minimum landscaping requirements. Plantings in addition to the landscaping requirements may be of a different size.
(4)
Ground treatments.
a.
Rock mulch. Rock mulch shall be installed and maintained at a minimum depth of two inches and a maximum depth of four inches on all planted areas except where ground cover plants are fully established.
b.
Grass seed and sod. Turf areas shall be planted with species suitable as permanent lawns in Farmington. Turf areas may be sodded or seeded. Additional maintenance shall be provided until coverage is complete.
c.
Other. Other ground covers suitable for the soil and climate conditions of the area may be approved within required landscape areas.
(5)
Species. Tree and plant species provided to meet the landscaping and screening standards of this section shall comply with recommendations of the director or designee as outlined in the city guidelines.
(Ord. No. 2021-1325, 3-9-21)
5.6.1 Purpose. It is the purpose of this section to promote public health, safety, and general welfare and to minimize public and private losses due to flood conditions in specific areas by provisions designed to:
A.
Protect human life and health;
B.
Minimize expenditure of public money for costly flood control projects;
C.
Minimize the need for rescue and relief efforts associated with flooding and generally undertaken at the expense of the general public;
D.
Minimize prolonged business interruptions;
E.
Minimize damage to public facilities and utilities such as water and gas mains, electric, telephone and sewer lines, streets and bridges located in floodplains;
F.
Help maintain a stable tax base by providing for the sound use and development of flood-prone areas in such a manner as to minimize future flood blight areas; and
G.
Ensure that potential buyers are notified that property is in a flood hazard area.
5.6.2 Applicability. This section shall apply to all development in areas of special flood hazards within the corporate limits of the City of Farmington.
5.6.3 Statutory authority. The legislature of the state has, pursuant to NMSA 1978, § 3-18-7, delegated the responsibility to local governments to adopt regulations designed to minimize flood losses. Therefore, the city council does ordain and adopt this section.
5.6.4 General provisions.
A.
Findings of fact.
(1)
The flood hazard areas of the city are subject to periodic inundation which results in loss of life and property, health and safety hazards, disruption of commerce and governmental services, and extraordinary public expenditures for flood protection and relief, all of which adversely affect public health, safety, and general welfare.
(2)
These flood losses are created by the cumulative effect of obstructions in floodplains which cause an increase in flood heights and velocities, and by the occupancy of flood hazard areas by uses vulnerable to floods and hazardous to other lands because they are inadequately elevated, flood-proofed, or otherwise protected from flood damage.
B.
Methods of reducing flooding. In order to accomplish its purpose, this section uses the following methods of reducing flood losses:
(1)
Restrict or prohibit uses that are dangerous to health, safety or property in times of flood, or that cause excessive increases in flood heights or velocities;
(2)
Require that uses vulnerable to floods, including facilities which serve such uses, be protected against flood damage at the time of initial construction;
(3)
Control the alteration of natural floodplains, stream channels, and natural protective barriers, which are involved in the accommodation of floodwaters;
(4)
Control filling, grading, dredging and other development which may increase flood damage; and
(5)
Prevent or regulate the construction of flood barriers which will unnaturally divert floodwaters or which may increase flood hazards to other lands.
C.
Basis for establishing the areas of special flood hazard. The areas of special flood hazard identified by the Federal Insurance Administration in a scientific and engineering report entitled "The Flood Insurance Study for the City of Farmington", dated May 15, 2002, with an accompanying flood insurance rate map (FIRM), which shows flood hazard areas and designated floodways are hereby adopted by reference and declared to be a part of this section. The flood insurance study is on file at the floodplain administrator's office at 800 Municipal Drive, Farmington, New Mexico. The flood insurance study is the minimum area of applicability of this section and may be supplemented by studies for other areas which allow implementation of this section and which are recommended to the city council by the floodplain administrator.
D.
Compliance. No structure or land shall hereafter be constructed, located, extended, converted, or altered without full compliance with the terms of this section and other applicable regulations.
E.
Abrogation and greater restrictions. This section is not intended to repeal, abrogate, or impair any existing easements, covenants, or deed restrictions. However, where this section and another ordinance, easement, covenant, or deed restriction conflict or overlap, whichever imposes the more stringent restrictions shall prevail.
F.
Interpretation. In the interpretation and application of this section, all provisions shall be:
(1)
Considered as minimum requirements;
(2)
Liberally construed in favor of the city council; and
(3)
Deemed neither to limit nor repeal any other powers granted under state statutes.
G.
Warning and disclaimer of liability. The degree of flood protection required by this section is considered reasonable for regulatory purposes and is based on scientific and engineering considerations. Larger floods can and will occur on rare occasions. Flood heights may be increased by manmade or natural causes. This section does not imply that land outside the areas of special flood hazards or uses permitted within such areas will be free from flooding or flood damages. This section shall not create liability on the part of the city, any officer or employee thereof, or the Federal Insurance Administration, for any flood damages that result from reliance on this section or any administrative decision lawfully made hereunder.
5.6.5 Administration. The floodplain regulations of this section shall be administered in accordance with the provisions of section 7.7, floodplain administrator.
5.6.6 General standards. In all areas of special flood hazards, the following are required for all new construction and substantial improvements:
A.
All new construction or substantial improvements shall be designed or modified and adequately anchored to prevent flotation, collapse or lateral movement of the structure resulting from hydrodynamic and hydrostatic loads, including the effects of buoyancy;
B.
All new construction or substantial improvements shall be constructed by methods and practices that minimize flood damage;
C.
All new construction or substantial improvements shall be constructed with materials resistant to flood damage;
D.
All new construction or substantial improvements shall be constructed with electrical, heating, ventilating, plumbing, and air conditioning equipment and other service facilities that are designed or located so as to prevent water from entering or accumulating within the components during conditions of flooding;
E.
All new and replacement water supply systems shall be designed to minimize or eliminate infiltration of floodwaters into the system;
F.
New and replacement sanitary sewer systems shall be designed to minimize or eliminate infiltration of floodwaters into the systems and discharge from the systems into floodwaters; and
G.
On-site waste disposal systems shall be located to avoid impairment to them or contamination from them during flooding.
5.6.7 Specific standards. In all areas of special flood hazards where base flood elevation data has been provided as set forth in subsection 5.6.4C., basis for establishing the areas of special flood Hazard; or where the basis has not been established, subsection 7.7.2H., powers and duties, the following are required:
A.
Residential construction. New construction and substantial improvement of any residential structure shall have the lowest floor, including basement and all mechanical equipment, elevated to one foot or more above the base flood elevation. A registered professional engineer, or land surveyor shall submit a certification to the floodplain administrator that the standard of this subsection, as proposed in subsection 13.2.15A. is satisfied. (The city engineer does not have authority to waive this requirement.)
B.
Nonresidential construction. New construction and substantial improvements of any commercial, industrial or other nonresidential structure shall have either the lowest floor, including basement and all mechanical equipment, elevated to one foot or more above the base flood elevation or, together with attendant utility and sanitary facilities, be designed so if the base is below one foot above the base flood elevation the structure is watertight with walls substantially impermeable to the passage of water and with structural components having the capability of resisting hydrostatic and hydrodynamic loads and effects of buoyancy. A registered professional engineer shall develop or review structural design, specifications, and plans for the construction and shall certify that the design and methods of construction are in accordance with accepted standards of practice as outlined in this subsection. A record of such certification, which includes the specific elevation, in relation to mean sea level, to which such structures are flood-proofed, shall be maintained by the floodplain administrator.
C.
Enclosure. New construction and substantial improvements, with fully enclosed areas below the lowest floor that are usable solely for parking of vehicles, building access or storage in an area other than a basement and which are subject to flooding shall be designed to automatically equalize hydrostatic flood forces on exterior walls by allowing for the entry and exit of floodwaters. Designs for meeting this requirement must either be certified by a registered professional engineer or meet or exceed the following minimum criteria:
(1)
A minimum of two openings having a total net area of not less than one square inch for every square foot of enclosed area subject to flooding shall be provided.
(2)
The bottom of all openings shall be no higher than one-foot above grade.
(3)
Openings may be equipped with screens, louvers, valves or other coverings or devices, provided that they permit the automatic entry and exit of floodwaters.
D.
Manufactured and mobile homes.
(1)
Manufactured and mobile homes to be placed within Zone A (on a community's FHBM or FIRM) shall be installed using methods and practices which minimize flood damage. For the purposes of this requirement, manufactured homes must be elevated and anchored to resist flotation, collapse, or lateral movement. Methods of anchoring may include, but are not limited to, use of over-the-top or frame ties to ground anchors. This requirement is in addition to applicable state and local anchoring requirements for resisting wind forces.
(2)
Manufactured and mobile homes to be placed or substantially improved within Zones A1-30, AH and AE (on the community's FIRM) on-sites, either:
a.
Outside of a manufactured or mobile home park or subdivision;
b.
In manufactured home or mobile park or subdivision completed on or after the effective date of floodplain management regulations;
c.
In an expansion to an existing manufactured or mobile home park or subdivision;
d.
In an existing manufactured and mobile home park or subdivision on which a manufactured or mobile home has incurred "substantial damage" as a result of a flood; or
e.
Be elevated on a permanent foundation so that the lowest floor of the manufactured home, including all mechanical equipment, elevated to one foot or more above the base flood elevation and be securely anchored to an adequately anchored foundation system to resist flotation, collapse, and lateral movement.
(3)
Manufactured and mobile homes placed or substantially improved on-sites in an existing manufactured or mobile home parks or subdivisions within Zones A1-30, AH and AE (on the community's FIRM) that are not subject to the provisions of this subsection 5.6.7D. shall be elevated so that either:
a.
The lowest floor of the manufactured or mobile home is at or above the base flood elevation, or
b.
The manufactured or mobile home chassis is supported by reinforced piers or other foundation elements of at least equivalent strength that are no less than three feet in height above grade and be securely anchored to an adequately anchored foundation system to resist flotation, collapse, and lateral movement.
E.
Recreational vehicles. Recreational vehicles placed on-sites within Zones A1-30, AH and AE (on the community's FIRM) shall either:
(1)
Be on the site for fewer than 180 consecutive days,
(2)
Be fully licensed and ready for highway use, or
(3)
Comply with the permit requirements of section 8.10 and the elevation and anchoring requirements for "manufactured homes" in subsection 5.6.7D. A recreational vehicle is ready for highway use if it is on its wheels or jacking system, is attached to the site only by quick disconnect type utilities and security devices, and has no permanently attached additions.
5.6.8 Standards for subdivision.
A.
All subdivision proposals, including the placement of manufactured home parks and subdivisions, shall be consistent with subsection 5.6.4A., findings of fact; subsection 5.6.4B., methods of reducing flooding; and subsection 5.6.4C., basis for establishing the areas of special flood hazard.
B.
All proposals for the development of subdivisions including the placement of manufactured home parks and subdivisions shall meet development permit requirements of subsection 5.6.4A., findings of fact; subsection 5.6.4B., methods of reducing flooding and Article 11, definitions.
C.
Base flood elevation data shall be generated for subdivision proposals and other proposed development, including the placement of manufactured home parks and subdivisions, which is greater than 50 lots or five acres, whichever is lesser, if not otherwise provided pursuant to subsection 5.6.4C., basis for establishing the areas of special flood hazard, or where the basis has not been established, subsection 7.7.2H.
D.
All subdivision proposals, including the placement of manufactured home parks and subdivisions, shall have adequate drainage provided to reduce exposure to flood hazards.
E.
All subdivision proposals, including the placement of manufactured home parks and subdivisions, shall have public utilities and facilities such as sewer, gas, electrical and water systems located and constructed to minimize or eliminate flood damage.
5.6.9 Standards for areas of shallow flooding (AO/AH Zones). Located within the areas of special flood hazard established in subsection 5.6.4C., basis for establishing the areas of special flood hazard, are areas designated as shallow flooding. These areas have special flood hazards associated with base flood depths of one to three feet where a clearly defined channel does not exist and where the path of flooding is unpredictable and where velocity flow may be evident. Such flooding is characterized by ponding or sheet flow; therefore, the following apply:
A.
All new construction and substantial improvements of residential structures have the lowest floor, including basement, elevated above the highest adjacent grade at least as high as the depth number specified in feet on the community's FIRM (at least two feet if no depth number is specified).
B.
All new construction and substantial improvements of nonresidential structures shall:
C.
Have the lowest floor, including basement, elevated above the highest adjacent grade at least as high as the depth number specified in feet on the community's FIRM (at least two feet if no depth number is specified); or
D.
Together with attendant utility and sanitary facilities, be designed so that below the base flood level the structure is watertight with walls substantially impermeable to the passage of water and with structural components having the capability of resisting hydrostatic and hydrodynamic loads of effects of buoyancy.
E.
A registered professional engineer shall submit a certification of elevation to the floodplain administrator that the standards of this section, as required by subsection 13.2.15A., are satisfied.
F.
Within zone AH or AO, adequate drainage paths shall be required around structures on slopes, to guide floodwaters around and away from proposed structures.
5.6.10 Floodways. Areas of special flood hazard established in subsection 5.6.4C., basis for establishing the areas of special flood hazard, are areas designated as floodways. Since a floodway is an extremely hazardous area due to the velocity of floodwaters which carry debris, potential projectiles, and erosion potential, the following shall apply:
A.
Encroachments are prohibited, including fill, new construction, substantial improvements and other development within the adopted regulatory floodways unless it has been demonstrated through hydrologic and hydraulic analyses performed in accordance with standard engineering practice that the proposed encroachment would not result in any increase in flood levels within the community during the occurrence of the base flood discharge.
B.
If subsection 5.6.10A., above, is satisfied, all new construction and substantial improvements shall comply with all applicable flood hazard reduction sections of this article.
C.
Under the provisions of 44 CFR, Chapter 1, Section 65.12, of the National Flood Insurance Regulations, a community may permit encroachments within the adopted regulatory floodway that would result in an increase in base flood elevations, provided that the community and/or the developer first applies for a conditional FIRM and floodway revision through FEMA and is granted a conditional letter of map revision (CLOMR) by FEMA.
(Ord. No. 2021-1325, 3-9-21; Ord. No. 2022-1335, 1-25-22)
5.7.1 Purpose. This section is intended to supplement the subdivision drainage requirements of section 5.6 and to protect drainageways from alteration in order to uphold their primary function as stormwater facilities. Developments within FEMA-delineated floodplain boundaries shall adhere to the floodplain regulations of section 5.6. For purposes of this section drainageways shall be defined as follows:
A.
Drainageways. Drainageways shall be defined to mean a channel, typically earthen, that conveys stormwater onto, across and/or off a property—Drainageways may or may not start on the subject property.
5.7.2 Drainageways. All development, including fences and walls, proposed on properties containing natural or historic drainageways shall be subject to the following hierarchy of requirements:
A.
Avoid development in a natural or historic drainageway. Restrict development to area (portion of a site) that is not within a natural or historic drainageway where such area exists on a site sufficient to make reasonable economic use of property.
B.
Minimize development in a natural or historic drainageway. Where development is allowed within a natural or historic drainageway, the diversity of permitted uses in a zone district and permitted residential land use densities may be limited or reduced as necessary to minimize potential dangers to structures or persons.
C.
Realignment of drainageway. Realignment of drainageways will be allowed where engineering is provided to insure that the realignment remains. Diversion structures and the realigned channel, pipe or structure will need to be designed by a licensed engineer. If a proposed realignment will change ingress or egress locations on the property then written approval of the adjoining property owners shall be required prior to approval of the realignment. Any and all cost of the realignment on the property or the adjoining property shall be solely the responsibility of the developer.
D.
Prohibit development in a natural or historic drainageway. Development shall only be prohibited in a natural and historic drainageway where one or more of the following conditions is found to exist:
(1)
Site planning and engineering techniques described in section 5.6, floodplains, cannot reasonably mitigate potential hazards to public health, safety and welfare; or
(2)
Alteration will limit or reduce the primary function of natural and historic drainages as storm water facilities; or
(3)
Development will cause persons (other than the developer) or the city to incur expenses required to:
a.
Mitigate hazardous conditions;
b.
Respond to emergencies created by such conditions; or
c.
Rehabilitate improvements and lands.
5.7.3 Supplementary drainage requirements. Where drainage detention improvements, including detention basin(s), have not yet been constructed for a site, all nonresidential and multifamily development with more than 5,000 square feet of impervious surface shall be subject to the following requirements:
A.
Drainage detention basin. A detention basin shall be provided where necessary, to limit post development flows to pre-development flow rates and sediment loading. Such basin(s) shall be capable of handling the calculated difference between historic flows and the anticipated post-development 25-year, 24-hour frequency storms within the entire project boundary in which the proposed structure is to be located. Detention basin design should be calculated using the Rational Formula Method or Modified Rational Formula Method for properties within city limits. Alternate hydrologic methods may be used with prior approvals from the city engineer or their designee. Maintenance of all such drainage improvements shall be the responsibility of the property owner, unless otherwise accepted by the city for ownership and maintenance.
B.
Design. Drainage improvements shall be designed in accordance with the following standards:
(1)
A New Mexico-registered engineer shall design and certify drainage improvements.
(2)
Adequate provision for short- and long-term ownership, maintenance, and operation of the storm water management system shall be required.
(3)
Where water velocities may reasonably be expected to cause erosion problems, satisfactory means shall be provided to prevent such erosion, including concrete head walls and wing walls where conditions require.
(4)
Water supply systems and sanitary sewage systems shall be designed to minimize or eliminate infiltration of floodwaters.
(5)
New construction shall incorporate on-site 'first flush' retention best practices. First Flush on-site retention shall be sized to retain the 90 th percentile rainfall depth (inches) multiplied by the new development impervious area. The 90 th percentile rainfall depth for the City of Farmington is 0.53 inches. The first flush design requirement is in addition to and does not replace the requirement of section 5.7.3.A. All ponds, including retention ponds, shall be dry within 96 hours. Retention pond design submittals shall include geotechnical analysis (percolation tests) to support compliance with the 96-hour rule. Maintenance of all drainage improvements shall comply with section 5.7.3.A.
(6)
Use of rainwater capture and retention to irrigate on-site landscaping is encouraged.
(Ord. No. 2021-1325, 3-9-21; Ord. No. 2022-1335, 1-25-22)
5.8.1 Purpose: The purposes of these sign regulations are: to encourage the effective use of signs as a means of communication in the city; to maintain and enhance the pleasing look of the city; to preserve Farmington as a city that is attractive to businesses; to improve pedestrian and traffic safety; to minimize the possible adverse effects of signs on nearby public and private property; and to otherwise implement relevant provisions of the Farmington Comprehensive Plan.
Signage within the City is encouraged to be designed to complement the existing aesthetic of Farmington and the character of individual areas within the City.
For purposes of this section, a site refers to the entire project as planned and developed together as follows:
• A single apartment complex shall be considered as occupying one site.
• A shopping center, including out-parcels and separate buildings within it (regardless of whether ownership is common or separate) shall be considered as occupying one site.
• A group of office buildings, warehouses or industrial buildings under common ownership or management and approved within one site plan with the city, shall be considered as occupying one site.
• In general, buildings that share parking or access shall be presumed to occupy one site, subject to proof by the owners that the nature of the sharing arrangement is such that it should not be considered determinative for purposes of this UDC.
5.8.1.A Definitions. Definitions specific to the administration, interpretation and enforcement of this section are contained within Article 11 of the UDC.
5.8.2 Authorized signs allowed without a permit. The following signs are exempt from the requirements of this UDC, but remain subject to the building code requirements:
A.
Any public notice or warning required by a valid and applicable federal, state or local law, regulation or ordinance;
B.
Traffic control signs and devices installed by city or state agencies on public or private property or rights-of-way, such as "Stop," "Yield" and similar signs;
C.
Any sign inside a building that is not attached to a window or door;
D.
Signs that are not visible beyond the boundaries of the lot or parcel on which they are located or from any public rights-of-way;
E.
Any sign inside an athletic field or other enclosed outdoor space, where the sign is not legible from ground level and not visible from public right-of-way beyond the lot line of the site on which it is located;
F.
Holiday decorations displayed between November 15 and January 15;
G.
Flags used as political or religious symbols;
H.
Flags used solely for decoration and not containing any copy or logo;
I.
Window signs;
J.
Balloons and/or other gas-filled objects located in any zoning district; which balloon and/or gas filled object shall not exceed 20 feet in height from the ground and shall not contain or display any logo but shall be used solely for decorative purposes;
K.
Temporary signs on private property.
5.8.3 Prohibited signs. All signs not expressly permitted under this section or exempt from regulation hereunder in accordance with the previous section are prohibited. Such signs include, but are not limited to:
A.
Any sign that copies or imitates an official sign or purports to have official status;
B.
Signs, other than official government signs, located within the public rights-of-way or easements, public parks, or on public properties with the exception of signs permitted by the city manager or designee at a specific location for a specific time period;
C.
Beacons;
D.
Windblown devices;
E.
Flashing signs;
F.
Moving signs;
G.
Any sign on or extending above the roofline, which is illustrated at right;
H.
Any sign attached to an accessory structure, except an incidental sign, if such sign is legible from the public right-of-way or from other property; and
I.
Any other attention-attracting device, except for those conforming to the dimensional, design, lighting, and other standards applicable to a sign in the same location.
J.
Any unofficial sign attached to or affixed in any way to utility poles, light poles, rocks, trees, or other natural features.
K.
Mobile signs, except on licensed food trucks
L.
Graffiti on public property
5.8.4 Permit required. Except as otherwise expressly provided in this section, all persons erecting, hanging, installing, or otherwise placing signs in the city must first obtain a sign permit in accordance with the procedures of section 8.4, Sign Permits. A permit is not required where only the changeable copy is changed, or the sign is cleaned, painted, repainted, or for normal maintenance and repair.
5.8.5 Sign table.
5.8.6 Computation and measurement.
A.
Area computation of individual signs. The area of a sign face (which is also the sign area of a wall sign or other sign with only one face) shall be computed by means of the smallest rectangle that will encompass the extreme limits of the writing, representation, emblem or other display, together with any material or color forming an integral part of the background of the display or used to differentiate the sign from the backdrop or structure against which it is placed, but not including any supporting framework, base, bracing or decorative fence or wall when such fence or wall otherwise meets the regulations of this UDC and is clearly incidental to the display itself. For a single wall, all pieces of information or other graphic representations on that wall shall be measured as though part of one sign, encompassed within one rectangle, which may not exceed the maximum permitted sign area.
B.
Area computation of multi-faced signs. Where the sign faces of a double-faced sign are parallel or the interior angle formed by the faces is 60 degrees or less, only one display face shall be measured in computing sign area. If the two faces of a double-faced sign are of unequal area, the area of the sign shall be the area of the larger face. In all other cases, the areas of all faces of a multi-faced sign shall be added together to compute the area of the sign. Sign area of multi-faced signs is calculated based on the principle that all sign elements that can be seen at one time or from one vantage point should be considered in measuring the size of the sign.
C.
Sign height computation. The height of a sign shall be computed as the distance from the base of the sign at normal grade to the top of the highest attached component of the sign. Normal grade shall be construed to be the lower of: existing grade prior to construction; or newly established grade after construction, exclusive of any filling, berming, mounding or excavating solely for the purpose of locating the sign. In cases where the normal grade cannot reasonably be determined, sign height shall be computed on the assumption that the elevation of the normal grade at the base of the sign is equal to the elevation of the nearest point of the crown of a public street or the grade of the land at the principal entrance to the principal structure on the site, whichever is lower.
D.
Building frontage. Building frontage shall mean the horizontal length of a building (building length) on the side with its principal entrance. If that side is a straight wall, then the building frontage shall be the length of the wall. If the side is not a straight wall, the building frontage shall be the horizontal distance from the corner at one end of the side of the building with the principal entrance to the other corner on the same side of the building; where that side of the building is concave, then the measurement shall be made in a straight line from corner to corner; where the side of the building is convex or has one or more sections that project in front of the front corners, then the measurement shall be made as the shortest distance between two lines projected from the two front corners of the building, with such lines parallel to each other and as close as practicable to perpendicular to the front of the building.
E.
Street frontage. Street frontage shall mean the horizontal length of the street frontage along the subject lot side and shall be measured in accordance with the requirements of subsection 2.8.3B., lot width.
5.8.7 Permitted signs; locations, number and size. Signs shall be permitted in accordance with the table in section 5.8.5, summary of permitted signs. The number in the "Conditions" column for a particular type of sign shall refer to the same-numbered "Condition" on the following pages, which shall apply to that sign in accordance with its terms.
A.
Conditions.
(1)
Principal free-standing signs. Principal freestanding signs shall be permitted, subject to the following:
a.
Allowable area. One square foot in sign area shall be allowed for each linear foot of street frontage up to a maximum of 200 square feet and limited as follows:
(1)
The MF, OP, MU, and LNC districts are limited to a maximum of 50 square feet.
(2)
The CB, GC, PIP and I districts is limited to a maximum of 200 square feet.
b.
Allowable height. The maximum allowable height to the top of the sign is as follows:
c.
Corner setbacks and visibility. All freestanding signs shall comply with safe sight triangle requirements of section 5.3.6, corner setback and intersection visibility.
d.
Single- and double-occupant projects. For single- or multi-occupant projects, there shall be only one freestanding sign, plus an additional freestanding sign for each of the following, provided that no two freestanding signs shall be within 300 feet of each other on the same street frontage:
(1)
Street frontage on a 2nd street, provided that the street frontage on such street is at least 150 feet in length; and
(2)
Street frontage on a 3rd street, provided that the street frontage on such street is at least 150 feet in length; and
(3)
For every 300 feet of street frontage on any one street in excess of 300 feet.
(2)
Wall signs, nonresidential. Nonresidential wall signs shall be permitted in accordance with the following provisions:
a.
The total area of wall signs on a particular wall or a section of wall shall not exceed one square foot of wall sign for each linear foot of length of that wall, which length shall be measured by applying the same principles as are used to measure building frontage, subject to residential restrictions.
b.
The total area of all wall signs on a building shall not exceed one square foot of wall sign for each linear foot of building frontage or the maximum total area per district, whichever is less. The fact that signs may be permitted on more than one wall of the building shall not increase this maximum.
c.
On a multi-tenant building, there may be a separate wall sign for each occupant with an outside entrance serving the general public, but this provision shall not increase the total area of signage permitted on the building.
(3)
Wall signs, residential and institutional.
a.
Single-family residential units (either attached or detached) in zoning districts or portions of planned developments designated for single-family use shall be permitted one wall sign meeting the following criteria:
(1)
The sign shall not exceed two square feet in area;
(2)
The sign shall not be separately illuminated; and
b.
Multifamily residential or institutional uses located in residential zoning districts, including portions of planned developments designated for residential use, shall be permitted one wall sign per public entrance, which wall sign shall be subject to the following:
(1)
No such sign shall exceed six square feet in area;
(2)
Each sign may be illuminated only by direct, external illumination.
(4)
Window signs. Signs may be placed on the interior of window glass.
(5)
Suspended signs. Suspended signs shall be permitted under canopies attached to buildings only to identify entrances to businesses or other users under that canopy. Suspended signs shall be subject to the following specific conditions:
a.
There may be one suspended sign per entrance, and the suspended sign may have copy on both sides;
b.
A suspended sign shall not be separately illuminated.
(6)
Awning signs.
a.
The maximum area an awning sign(s) shall cover is 20 percent of the total awning face area of any face that is visible when viewed from either a frontal or side direction, or the maximum wall sign area for the building frontage, whichever is less.
b.
If the awning is mounted on a multi-tenant building, the awning sign shall comply with the approved master sign program in color, size, material, and letter style.
(7)
Building markers. Building marker signs shall be permitted, subject to the following conditions:
a.
Such signs shall not exceed three square feet in area;
b.
Such signs shall be made of permanent material, such as bronze or masonry, and shall be permanently affixed to or made part of the building;
c.
There shall be only one such sign on any building; and
d.
Such signs shall be affixed to a building wall.
(8)
Programmable signs. Programmable signs shall be permitted, subject to the following conditions:
a.
The image (pictures, as opposed to words) cannot change more frequently than once every three seconds, with the exception of time and temperature, which can change every second.
b.
Signs shall be programmed so that the lighting output temperature falls between 4,000 and 6,000 Kelvin.
c.
If a worded message is longer than the sign's display capability, the set of words on the sign cannot change more frequently than once every second.
d.
Continuous streaming signs are allowed.
e.
Programmable signs shall be limited to the maximum allowable square footage of the underlying zoning district.
f.
Programmable signs shall be oriented to the closest street to prevent light trespass on residential areas.
(9)
Directory signs. Directory signs shall be permitted where a particular site includes more than one tenant or occupant, subject to the following conditions:
a.
In shopping centers. Director or designee signs in shopping centers may be located near entrances to parking areas, but at least 50 feet from any public right-of-way, and at principal intersections within the center, where such intersections are at least 50 feet from any public right-of-way. Such signs shall not exceed 16 square feet in area or 72 inches in height. Such signs may contain logos or business names with arrows or other directional information.
b.
At multifamily projects, office buildings or business parks. One director or designee sign may be located near the principal entrance to a parking area for multifamily projects, office buildings, or business parks. Such sign shall be located away from any public right-of-way, so that drivers can conveniently pull up to and read the director or designee without impeding traffic on any driveway or entrance serving the development. Such sign may contain an unlimited number of pieces of information. Such sign may not exceed 12 square feet in area and five feet in height.
(10)
Fuel price signs. Service stations will be allowed, in addition to one permitted freestanding sign, one fuel price sign per street frontage, the area of which shall not exceed 16 square feet and will not be included in the allowable area of any freestanding sign. This sign shall follow the setback requirements for a freestanding sign and shall not be located within the right-of-way.
(11)
Home business signs. Total square feet of home business signs shall not exceed three square feet per lot. Such signs shall be limited to wall signs or free standing, monument signs. Such signs shall not be internally illuminated. Temporary signs, flashing signs, and electronic reader boards are prohibited.
(12)
Identification signs. Identification signs shall be permitted, subject to the following conditions:
a.
Such signs shall not exceed three square feet in area;
b.
Such signs shall be affixed to a building wall.
(13)
Incidental signs. Incidental signs shall not exceed three square feet in surface area. Incidental freestanding signs shall not exceed three feet in height.
(14)
Marquees. Marquees shall be permitted as additional wall signs only at theaters and entertainment venues and may have changeable copy on each face.
(15)
Off-site signs and billboards. Such signs may be placed along principal arterial streets as shown on the city's major thoroughfare plan, except along the designated Native Heritage Trails Byway (U.S Highway 64, including Murray Drive), which have a minimum right-of-way width of 200 feet, but only:
a.
Having a total area of not more than one square foot for each five lineal feet of highway frontage;
b.
Having a total area of not more than 200 square feet;
c.
Having a height not exceeding 26 feet;
d.
Being at least 750 feet from any other off-site sign and shall include both sides of the street; back-to-back parallel faces shall constitute one sign; and
e.
Being at least 100 feet from any on-site, freestanding sign or residential building; such distance shall be measured as a radius.
(16)
Political signs. Such signs will be subject to the regulations listed in section (19).
a.
All political signs erected pursuant to this paragraph shall be properly maintained in good condition or removed.
b.
A sign which pertains to a specific election or event shall not be erected prior to 60 days before the date of such election or event and must be removed no later than five days after the date of such an election or event.
c.
Notwithstanding the requirements of subparagraph b. above, a candidate that is successful in primary election or a candidate that becomes eligible to be placed on the ballot for the general election after the primary election is concluded, shall be allowed to retain or erect signs during the interim period between the primary and general election.
(17)
Projecting signs. Such signs shall be attached perpendicular to a building or other structure. Only one such sign is permitted per building frontage with an entrance available to the public. Such signs shall not project into any adjacent right-of-way without an encroachment permit. In no case shall such an encroachment be closer than two feet from the back of the curb. The bottom of such signs shall be a minimum of eight feet above the walkway.
(18)
Residential neighborhood (identification signs). Monument signs with the name of the subdivision, mobile or manufactured home park, or multifamily development may be located on one or both sides of each principal entrance into the development, provided that:
a.
Such sign shall not exceed 32 square feet in area.
b.
Such sign shall not exceed 72 inches in height.
c.
In no case shall there be issued more than one temporary sign permit within any 12-month period for the same single-occupancy premises or for the same tenant space in a multiple-occupancy premises;
(19)
Temporary free-standing signs may be:
a.
Attached to a wall of the building on which wall signs are permitted and shall be parallel to that wall; such signs may be made of cloth or canvas and are not subject to the construction and installation requirements otherwise applicable; or
b.
Balloons and/or other gas filled objects located in any zoning district, which balloon and/or gas filled object shall not exceed 20 feet in height and may contain or display a logo; or
c.
Portable, changeable signs.
d.
Temporary signs must be professionally produced. Handmade signs are not permitted.
e.
All temporary signs shall contain the name and contact information, either an email or phone number, of the person who posted the sign.
f.
May be posted on public right-of-way at the following locations with permission of the City Manager or designee:
i.
City right-of-way around the Butler/E. Pinon Hills Blvd
ii.
Northside of intersection of College and E. Pinon Hills Drive
iii.
3041 E Main Street - Farmington Museum
iv.
City right-of-way along Browning Parkway
Additional areas may be designated by the City Manager for specific uses and times.
(19)
Feather, Flag and Pennant signs
a.
Shall not be placed in any visibility triangle for vehicular or pedestrian traffic.
b.
A maximum of one sign per every 20 feet is allowed.
c.
Shall be permanently anchored so as not to become windblown.
d.
Signs shall not exceed ten feet in height.
5.8.8 Murals: Artwork with a non-commercial messages are permitted in the following locations:
A.
In the metropolitan redevelopment area (MRA), murals are allowed on the side and rear walls, with a maximum coverage of 100 percent of the wall. Permits in the MRA shall be reviewed and approved by the MRA commission.
B.
Along principal arterials, as identified in the Farmington Major Thoroughfare Plan, murals are allowed on the side walls only, with a maximum coverage of 60 percent.
C.
Along minor arterial and collector roads as identified in the Farmington Major Thoroughfare Plan, murals are allowed on the side walls only, with a maximum coverage of 40 percent.
D.
Planning division review is required for all murals.
E.
All murals are subject to the approval of the property owner and any related tenant associations.
(Ord. No. 2021-1325, 3-9-21)
5.9.1 Criteria. All land proposed for dedication to the public or as common open space shall substantially meet the following criteria:
A.
It is not encumbered with any substantial structure;
B.
It is not devoted to use as a roadway, parking area (paved or peripheral), or sidewalk;
C.
It is left in its natural or undisturbed state, if such a state is compatible with use of the land described in subsection 5.9.1D., below, or properly planned and landscaped according to approved plans (facilities for the pursuit of passive types of recreation, such as picnic tables and trails, are permissible);
D.
It is capable of being used and enjoyed for purposes of informal and unstructured recreation and relaxation;
E.
It is legally and practically accessible to the residents of the development out of which the required open space is taken or to the public if dedication of the open space is required; and
F.
The open space restrictions and dedication must be permanent and not for a period of years.
5.9.2 Homeowners association. Homeowners associations or similar legal entities that are responsible for the maintenance and control of common open space shall be established as required by section 6.10, mandatory homeowners' associations, and in such a manner that:
A.
Provision for the establishment of the association or similar entity is made before any lot in the development is sold or any building occupied;
B.
The association or similar legal entity has clear legal authority to maintain and exercise control over such common areas and facilities; and
C.
The association or similar legal entity has the power to compel contributions from residents of the development to cover their proportionate shares of the costs associated with the maintenance and upkeep of such common areas and facilities.
5.10.1 Purpose. The residential protection standards of this section are intended to preserve and protect residential uses and neighborhoods by ensuring that new nonresidential and multifamily development and redevelopment are compatible with the character of the adjacent and nearby areas in which they are located by:
A.
Increasing minimum side and rear yard setbacks for nonresidential and multifamily uses in proportion to lot size;
B.
Establishing minimum setbacks for dumpsters and solid waste receptacles;
C.
Limiting building height in proximity to protected uses and districts;
D.
Screening equipment and outdoor storage, parking areas, dumpsters and receptacles; and
E.
Encouraging lighting practices and systems that minimize light pollution and light trespass for the enjoyment and use of property and the night environment.
5.10.2 Applicability.
A.
Residential protection standards shall apply to all multi-family residential and/or nonresidential development when such development occurs:
(1)
Across the street from or adjacent to a lot containing a single-family, attached single-family or duplex dwelling.
B.
For purposes of this section, protected zoning district shall include the following districts:
(1)
Residential estate-2 district;
(2)
Rural agricultural district;
(3)
Residential estate-1 district;
(4)
Residential estate-20 district;
(5)
Single-family-10 district;
(6)
Single-family-7 district;
(7)
Single-family-5 district; and
(8)
Single-family attached district.
C.
The provisions of this section shall apply only to new structures and uses, and to that portion of existing structures and uses being expanded and to change of use.
D.
The provisions of this section shall not apply where nonresidential development occurs adjacent to nonresidential uses in a residential district.
5.10.3 Exemption. The provisions of this section shall not be interpreted as applying to structural alteration of an existing building when such alteration does not involve:
A.
Increase of the gross square footage or height of the building, or
B.
Modification or replacement of outdoor luminaires (fixtures).
(1)
When more than 30 percent of the lighting system visible from a single building elevation, or
(2)
Fifty percent of the total system needs modification or replacement.
5.10.4 Building setbacks—Side and rear. On-sites where the distance between side lot lines or between front and rear lot lines is 60 feet or less, no structure shall be erected within ten feet of the lot line of property that is in a protected zoning district pursuant to subsection 5.10.2B., or that contains a single-family, attached single-family or duplex use. On-sites where the distance between side lot lines or between front and rear lot lines is more than 60 feet, the minimum setback from the lot line of property that is in a protected zoning district pursuant to subsection 5.10.2B., or that contains a single-family, attached single-family or duplex use shall be ten feet, plus four additional feet of setback for each ten additional feet of lot width or fraction thereof (beyond 60 feet). This provision shall not be interpreted as requiring a setback of more than 30 feet, or a setback less than that otherwise required (see section 2.8, density and dimensional standards).
5.10.5 Building heights. No structure shall exceed 28 feet in height within 100 feet of the lot line of property that is in a protected zoning district pursuant to subsection 5.10.2B., or that contains a single-family, attached single-family or duplex use, which is less than 28 feet in height. This provision shall not apply where the protected single-family, attached single-family or duplex use at a significantly higher grade than the proposed structure.
5.10.6 Screening standards.
A.
Nonresidential and multifamily residential development, including off-street parking areas associated with such development, shall be screened from property in a protected zoning district pursuant to subsection 5.10.2B., or that contains a single-family, attached single-family or duplex use. Such visual screening shall be accomplished in accordance with the requirements of section 5.5.7, screening standards.
B.
Dumpsters and solid waste receptacles shall be completely screened from view of adjacent property in a protected zoning district pursuant to subsection 5.10.2B., or that contains a residential use by opaque fence or wall that is at least one-foot taller than the dumpster or solid waste receptacle.
5.10.7 Dumpsters and solid waste receptacles setbacks. Dumpster and solid waste receptacles shall be set back at least 20 feet from the lot line of property in a protected zoning district pursuant to subsection 5.10.2B, or that contains a residential use.
(Ord. No. 2021-1325, 3-9-21)
5.11.1 Purpose. Encourage good lighting practices to protect and promote public health and safety by allowing reasonable uses of exterior lighting while minimizing light pollution and adverse impacts of exterior lighting.
This Section shall apply to all new lighting. Replacement of lights that do not meet the regulations in this section is encouraged to comply to the fullest extent possible with the intent of this code.
An outdoor lighting plan is required to be submitted with the site plan for all multifamily and/or nonresidential development. The plan shall provide sufficient detail to demonstrate compliance with the following standards.
5.11.2 Minimum standards for residential and non-residential lighting.
A.
Fixtures (luminaires). The light source shall be completely concealed within a full cut-off fixture. The emitted light shall not break the horizontal plane of the lighting fixture.
B.
Light source (lamp). Only LED, Halogen incandescent, florescent, metal halide, may be used. The same type must be used for the same or similar types of lighting on any single site, planned unit development or planned developments (PD districts).
C.
Mounting. Fixtures shall be mounted in such a manner that its cone of light is directed down or toward a surface and does not cross any property line of the site. No outdoor lighting shall be directed towards any adjacent residential use or public street.
D.
Maximum fixture height. Maximum fixture height above adjacent grade for all fixtures except those used for sports facility (field, arena or track) lighting, shall be 20 feet; provided, however, the maximum height for fixtures lighting approved signs shall be 24 feet.
E.
Illumination levels. Illumination levels shall be as follows:
(1)
Canopies for gas stations, ATM machines and similar. Gas stations, ATM machines, and similar canopies shall be limited to a maximum of 20 initial lamp lumens per square foot of canopy. All light fixtures mounted on the lower surface of canopies must be fully shielded in-and-of themselves (canopy edges do not qualify as shielding).
(2)
Recreational facilities:
a.
Lighting for fields, courts, or tracks shall not exceed maximum illuminance criteria as defined by the Illuminating Engineering Society of North America (IESNA); and before approval, a registered professional engineer shall certify plans as complying with all relevant lighting standards of this section.
b.
Lighting for nonfield, noncourt and nontrack areas shall conform to all provisions of this section.
(3)
All other uses. Illumination levels per fixture shall not exceed 2,000 initial lumens.
(4)
Decorative exterior lighting, such as string lights, not exceeding 15 watts per bulb are permitted up to a maximum of 500 lumens. Decorative lighting shall be turned off between 11:00 p.m. and 6:00 a.m.
5.11.3 Exemptions: The following types of lighting are not subject to the regulations of this section:
A.
Emergency lighting used only under emergency conditions shall not be subject to this section.
B.
Lighting required by the Federal Aviation Agency or the Federal Communication Commission.
C.
Underwater lighting for pools and decorative water fountains.
D.
Seasonal lighting: between November 15 and January 15 shall not be subject to this Section providing such lighting does not create glare to motorist or result in light trespass onto adjacent properties.
E.
Street lighting within the city and state right-of-way.
F.
Temporary lighting, such as lighting for civic events, construction projects or temporary uses, for no more than a 30 day period or the length of the temporary use permit.
5.11.4 Prohibited lighting and fixtures.
A.
Mercury vapor light bulbs and fixtures.
B.
Lamps emitting a color temperature below 4,000 or above 6,000 Kelvin.
C.
Searchlights for advertising purposes.
D.
Laser source lighting.
5.11.5 Shielding and light trespass requirements.
A.
All light fixtures shall be fully shielded, unless approved by the director of designee.
B.
All light fixtures shall be aimed and shielded so that direct illumination shall be confined to the property boundaries of the source. Lighting shall not be aimed onto adjacent properties, except in cases of shared parking and walkways or for developments composed of multiple parcels.
C.
Uplighting subject to the approval of the director or designee, uplighting or ground-mounted lighting may be allowed to accent unique features of a building and/or surrounding landscaping such as exceptional architectural features, specimen trees with dense year-round foliage, or large native shrub masses. Uplighting or ground-mounted lighting shall be designed and installed to minimize glare with special consideration to vehicular and pedestrian traffic.
i.
All lighting shall be fully shielded to contain and direct the light onto the feature to be illuminated.
ii.
The lighting fixture may be shielded by a roof, wall or other architectural feature that prevents the light from spilling above the roofline of a structure.
D.
Non-shielded accent lighting, such as landscape lighting is permitted and does not count towards the maximum lumens allowable for a project. Landscape lighting shall not exceed 150 watts per fixture and shall shielded.
5.11.6 Total outdoor light output, excluding streetlights used for illumination of public rights-of-way, of any development project shall not exceed 100,000 lumens per net acre, averaged over the entire property.
(Ord. No. 2021-1325, 3-9-21)
5.12.1 Applicability. All uses in any district of the City of Farmington shall have a continuing obligation to conform in operation, location, and construction to the subjective and performance standards herein specified so that the public health, safety, and welfare will be protected.
5.12.2 Exemptions. The following are exempt from the performance standards of this section:
A.
Temporary construction, excavation and grading associated with development for which applicable permits have been issued and with the installation of streets or utilities; and
B.
Demolition activities that are necessary and incidental to permitted development on the same lot, on another of several lots being developed at the same time or in the public right-of-way or easement.
5.12.3 General. The location, size, design, and operating characteristics of all uses shall minimize adverse effects, including visual impacts, on surrounding properties. The conduct of residential and nonresidential uses shall not produce offensive noise, vibration, fumes, smoke, dust or other particulate matter, odorous matter, heat, humidity, glare, electrical interference or other objectionable effects that can be experienced outside of the exterior walls of such uses.
5.12.4 Noise. Noise levels shall be limited in accordance with the requirements of the Farmington Municipal Code, Chapter 12, Article 5, noise.
5.12.5 Smoke and visible emissions.
A.
Opacity limits. No owner or operator of any operation or use in any district shall permit, cause, suffer or allow visible emissions to equal or exceed an opacity of 20 percent; provided, however, stationary combustion equipment which is regulated by state law [Parts 20.2.10 NMAC through 20.2.18 NMAC, and 20.2.42 NMAC, and any other part of chapter] is exempt from this requirement.
B.
Opacity determinations. Opacity of emissions from equipment that is subject to the requirements of subsection 5.11.5A., above, shall be determined in accordance with the method established by US EPA in 40 CFR, Part 60 Appendix A, Method 9, or any other method receiving prior approval from the New Mexico State Department of Health. The minimum time period for taking opacity readings shall be ten minutes.
C.
Dust and particulate matter. All land uses, including but not limited to open storage and open processing operations, and on-site transportation movements, which are the source of wind or airborne dust or other particulate matter; and processes involving dust or other particulate air contaminant generating equipment such as used in paint spraying, grain handling, sand or gravel processing or storage or sand blasting) shall be so conducted that dust and other particulate matter are not transported across the boundary line of the tract on which the use is located.
5.12.6 Odorous matter.
A.
Odor threshold. No use shall be located or operated in any district that involves the emission of odorous matter from a source of operation where the odorous matter exceeds the odor threshold at the bounding property line or at any point beyond the tract on which such use or operation is located. The odor threshold shall be the concentration of odorous matter in the atmosphere necessary to be perceptible to the olfactory nerve of a normal person.
B.
Measurement. The odor threshold as herein set forth shall be determined by observation by a person or persons. In any case, where uncertainty may arise or where the operator or owner of an odor emitting use may disagree with the enforcing officer or where specific measurement of odor concentration is required, the method and procedures as specified by American Society for Testing Materials, A.S.T.M.D. 1391 57, entitled "Standard Method for Measurement of Odor in Atmospheres" shall be used and a copy of A.S.T.M.D. 1391 57 is hereby incorporated by reference.
C.
Exception to odorous matter. The provisions of this subsection shall not normally be applied to restaurants and the emission of odorous matter normally associate with food preparation directly associated with restaurants.
5.12.7 Fire and explosive hazard material.
A.
Explosives. No use involving the manufacture or storage of compounds or products that decompose by detonation shall be permitted in any district except that chlorates, nitrates, perchlorates, phosphorus and similar substances and compounds in small quantities for use by industry, school laboratories, druggists, or wholesalers may be permitted when approved by the fire marshal as not presenting a fire or explosion hazard.
B.
Flammables. The storage and use of all flammable liquids and materials such as pyroxylin plastics, nitrocellulose film, solvents, and petroleum products shall be permitted only when such storage or use conforms to the standards and regulations of the City of Farmington.
5.12.8 Toxic and noxious matter. No operation or use in any district shall emit a concentration across the bounding property line of the tract on which such operation or use is located of toxic or noxious matter that will exceed ten percent of the concentration (exposure) considered as the threshold limit for an industrial worker as such standards are established by the New Mexico State Department of Health.
5.12.9 Vibration. No operation or use in any district shall at any time create earth-borne vibration that, when measured at the bounding property line of the source of operation, exceed the limit of displacement set forth in the following table in the frequency ranges specified.
5.12.10 Open storage. No open storage of materials or commodities shall be permitted in any district except as specifically allowed by this UDC. No open storage operation shall be located in front of a main building. No wrecking, junk, or salvage yard shall be permitted as a storage use in any district.
5.12.11 Glare. No use or operation in any district shall be located or conducted so as to produce intense glare or direct illumination across the bounding property line from a visible source of illumination nor shall any such light be of such intensity as to create a nuisance or detract from the use and enjoyment of adjacent property.
(Ord. No. 2021-1325, 3-9-21)
Streets shall be designed to the following standards:
The director may approve deviations from the above standards where warranted.
*These classifications may be able to exchange a multi-use trail for the bike lane requirement.
(Ord. No. 2021-1325, 3-9-21)
5.14.1 Purpose. The purpose of this section is to establish building design standards that foster high-quality and attractive development that is compatible with the City of Farmington Comprehensive Plan. The standards are further intended to ensure compatibility between residential neighborhoods and adjacent nonresidential uses.
5.14.2 Applicability. This section is applicable to all new construction of multi-family and nonresidential buildings in the local neighborhood commercial, office professional, and mixed use districts.
5.14.3 Building design standards. Building facades visible from the public right-of-way shall comply with the standards of this section.
A.
Building materials. The use of ribbed, standing seam, or corrugated metal siding shall not compose more than 40 percent of a building facade. Metal buildings shall be finished with a powder coating designed to withstand natural elements for a minimum of 20 years. Building facades consisting of corrugated metal shall include a minimum of two colors.
B.
Rooflines. Roof design shall provide for screening of flat roofs, mechanical equipment and other systems that need to be mounted on the roof.
(Ord. No. 2024-1370, 12-10-24)
DEVELOPMENT STANDARDS
ARTICLE 5 DEVELOPMENT STANDARDS
The development standards of this article shall be applicable to all site development and to all subdivisions in the city or to all subdivisions outside the city limits of Farmington, but lying within five miles of the city, as authorized by NMRS, 1978 §§ 3-21-1 through 3-21-12, as amended, except as otherwise specified herein. No development permit, building permit, certificate of occupancy, or grading permit (Municipal Code, section 12-4-1) shall be approved until all of the applicable standards of this Article 5, development standards, are met.
5.2.1 Purpose. In order that the public health, safety, general welfare, and convenience may be furthered through the orderly application of laws concerning parking facilities, the purpose of this section is to:
A.
Improve the design of parking facilities to maximize convenient access to homes and businesses with minimal vehicle or pedestrian conflict.
B.
Implement construction standards for surfacing materials, design criteria for stall dimensions, approach widths, and locations to ensure efficiency, usability and a reasonable life expectancy for parking facilities.
C.
Provide a minimum acceptable number of off-street parking spaces in association with any use or building which is to be erected, substantially enlarged, or changed from one principal use to another.
D.
Facilitate maximum land utilization between business types through encouragement of shared parking facilities.
5.2.2 Applicability.
A.
New development. The off-street parking and loading standards of this section shall apply to any new structure constructed.
B.
Expansions and alterations. The off-street parking and loading standards of this section shall apply when an existing structure or use is expanded or enlarged. Additional off-street parking and loading spaces shall be required to serve only the enlarged or expanded area, provided that in all cases the number of off-street parking and loading spaces provided for the entire use (pre-existing + expansion) must equal at least 75 percent of minimum ratio established in the off-street parking schedule "A" (subsection 5.2.3A.) of this section.
C.
Change of use. Off-street parking and loading must be provided for any change of use or manner of operation that would, based on the off-street parking schedule "A" (subsection 5.2.3A.) or the off-street loading schedule of this section, result in a requirement for more parking or loading spaces than the existing use.
D.
Exception for CB district. The requirements of this section shall not apply in the CB, Central Business, district.
5.2.3 Minimum off-street parking requirements.
A.
Schedule A. Unless otherwise expressly stated in this UDC, off-street parking spaces shall be provided in accordance with the following off-street parking requirements. Where this UDC provides options for calculating the parking requirement the smaller number of parking spaces shall apply. The Director or designee reserves the right to require a parking study be completed by a qualified professional for uses with unique operating characteristics or where Schedule A requirements are unsatisfactory.
Schedule A
Off-Street Parking Requirements
1.
The community development director or designee, may reduce the required schedule A parking minimum based on the following:
a.
Multifamily and nonresidential parking minimums may be reduced by a maximum of ten percent if the establishment is within one-quarter mile of an established public transit stop. Distance shall be measured from closest property line to the nearest public transit stop location.
b.
Parking minimums may be further reduced based on an analysis of a parking study and/or other supporting documentation.
B.
Schedule B. Schedule B uses have widely varying parking demands, making it difficult to specify a single requirement. The off-street parking requirement for such uses shall be established by the director or designee based on estimates of parking demand, which may include recommendations of the Institute of Traffic Engineers (ITE), data collected from uses that are the same or comparable to the proposed use, or other relevant information. The director or designee may require that the applicant submit a parking study that provides analysis and justification for the proposed number of spaces to be provided. Parking studies shall document the source of data used to develop the recommendations. The director or designee shall review the submitted study along with any other traffic engineering and planning data that are appropriate and establish the off-street parking or loading requirements for the use proposed.
5.2.4 Minimum off-street loading space requirements.
A.
Every building (or part thereof) erected or occupied for retail business, service, manufacturing, storage, warehousing, hotel, mortuary, or any other use similarly involving the receipt or distribution by vehicles or materials or merchandise, shall provide and maintain on the same premises loading space in accordance with the following requirements:
B.
In addition to the above required off-street loading spaces, the director or designee may require additional spaces if, in his opinion, a given use or extraordinary site characteristics warrant them.
5.2.5 Rules for computing parking and loading requirements. The following rules shall apply when computing the number of parking and loading spaces required under this section:
A.
Fractions. When calculation of the number of required spaces results in a fractional number, a fraction shall be rounded down to the next whole number.
B.
Multiple uses. When two or more uses or separate establishments are located within the same development, off-street parking shall be provided for each use or separate establishment unless a shared parking plan is approved under the provisions of subsection 5.2.8C. If one or more uses within a multi-use development are of a size that would otherwise exempt them from compliance with off-street parking requirements, only one such exemption shall be permitted to be taken for the entire development.
C.
Floor area. Unless otherwise expressly stated, all square footage-based off-street parking and loading standards shall be computed on the basis of the sum of the gross horizontal floor areas of all the floors of a building or structure. Such floor areas shall be measured from the exterior faces of exterior walls or from the centerline of walls separating two buildings or structures, but excluding stairwells (at each floor), elevator shafts and floors or parts of floors devoted exclusively to vehicular parking or loading.
D.
Seating.
(1)
When seating consists of benches, pews or other similar seating facilities, each 24 linear inches of seating space shall be counted as one seat.
(2)
Where parking requirements relate to movable seating in auditoriums and other assembly rooms, 15 square feet of floor area shall be construed to be equal to one seat, except where otherwise specified. Floor area shall be the actual area occupied by seating and related aisles, and shall not include accessory unoccupied areas or the thickness of walls.
(3)
Outdoor seating shall be included in the required parking calculations.
E.
Employees, students and other occupants. For the purpose of computing parking requirements based on the number of employees, students, residents or occupants, calculations shall be based on the largest number of persons working on any single shift, the maximum enrollment or the maximum fire-rated or licensed capacity, whichever is applicable. In hospitals, bassinets shall not be counted as beds.
F.
New and unlisted uses. Upon receiving a development application for a use not listed in the parking and loading schedules of this section, the director or designee shall apply the standards of the listed use that is deemed most similar to the use proposed or require that a parking study be submitted pursuant to the requirements of subsection 5.2.3B., Schedule B.
5.2.6 Off-street parking location.
A.
Except as otherwise expressly provided in this section, required off-street parking spaces shall be located on the same lot as the principal use (See: Section 5.2.7, alternative parking plans).
B.
Off-street parking shall be permitted in the required front yard of any residential district, provided that:
(1)
No more than 50 percent of the required front yard setback may be used for off-street parking or for a driveway providing access to a garage, carport or parking area located behind the front yard setback. This subsection shall not preclude construction of circular drives in accordance with subsection 5.2.11.F(4).
(2)
No recreational vehicles, except truck-mounted campers utilized for everyday transportation, may be parked within seven feet of the back curbline, or in the street as specified in Municipal Code, sections 25-4-9 and 25-4-10.
(3)
Off-street parking locations in residential districts. No off-street parking in the front yard setback shall be permitted except upon a designated parking area meeting the surfacing and maintenance requirements found in section 5.2.11.C and access management standards found in section 5.3.
C.
No residential garage shall be modified or converted to prevent its use as a parking structure unless there is on-premises, off-street parking in compliance with this section; provided, however, that this provision shall not apply to lots in subdivisions approved prior to the adoption of Ordinance Number 444 on April 9, 1969.
D.
Whenever possible, multifamily and nonresidential parking lots shall be located at the side or rear of buildings, avoiding street-front parking except where the rear or side property line abuts a residential district.
(1)
Multifamily. A dwelling unit density bonus of up to 15 percent shall be allowed where all required off-street parking is located at the side and/or rear of buildings.
(2)
Nonresidential. A reduction in the front yard minimum setback of up to 25 percent shall be allowed where all required off-street parking is located at the side and/or rear of buildings.
(3)
In no case shall parking interfere with the street frontage landscaping required for multifamily and nonresidential uses by section 5.5.5.
5.2.7 Commercial vehicle restrictions in residential districts.
A.
Except as provided in subsection B. below, all "commercial vehicles," including self-propelled vehicles with or without trailers, having a weight class of 11,501 gross vehicle weight rating (GVWR) or more individually, or combined, and all commercial trailers, are prohibited from parking in any residential zoning district (street or lot).
B.
The parking of a commercial vehicle in a residential zoning district (street or lot), is permitted, provided that:
(1)
Said commercial vehicle is standing on a temporary basis for the purpose of loading or unloading; or
(2)
Said commercial vehicle is providing other services common to residential areas.
C.
As used in this section, "commercial vehicle" shall mean a motor vehicle of a type required to be registered under the New Mexico Motor Vehicle Code or any other federal, tribal, state or foreign country motor vehicle code, which vehicle primarily is used or maintained for the transportation of persons for hire, compensation, or profit, or designed, used or maintained primarily for the transportation of property, goods, wares, equipment or merchandise for sale to customers. However, a vehicle registered as a "horseless carriage" or "classic vehicle" under the New Mexico Motor Vehicle Code shall not be considered a commercial vehicle.
D.
Commercial vehicles parked in residential districts after the January 1, 2008, effective date of the Unified Development Code (UDC) shall not be allowed to continue in violation of this section after June 1, 2008, and the provisions of sections 9.1.1, 9.1.2 and 9.1.3 of the UDC (sometimes referred to as "grandfather" clauses), shall not apply to the commercial vehicles which are the subject of this section.
E.
Any violation of this chapter shall be punished in accordance with section 1-1-10 of the Farmington City Code as noted in section 10.3 of the UDC.
5.2.8 Alternative parking plans. The director or designee shall be authorized to approve alternatives to providing the number of off-street parking spaces required by off-street parking Schedule "A" (subsection 5.2.3A.) in accordance with this subsection.
A.
General.
(1)
Procedure. Alternative parking plans shall be reviewed and approved in accordance with the procedures of section 8.13, administrative adjustments.
(2)
Recordation of approved plans. An attested copy of an approved alternative parking plan must be filed in the community development department. An alternative parking plan may be amended by following the same procedure required for the original approval. The applicant shall provide proof of recordation prior to approval of the building permit.
(3)
Violations. Violations of an approved alternative parking plan constitute a violation of the Code and will be subject to the enforcement and penalty provisions of Article 10.
B.
Off-site parking. The director or designee may approve the location of required off-street parking spaces on a separate lot from the lot on which the principal use is located if the off-site parking complies with the all of the following standards:
(1)
Ineligible activities. Off-site parking may not be used to satisfy the off-street parking standards for residential uses. Required parking spaces reserved for persons with disabilities may not be located off-site.
(2)
Location. No off-site parking space may be located more than 300 feet from the primary entrance of the use served (measured along the shortest legal pedestrian route) unless remote parking shuttle bus service is provided. Off-site parking spaces may not be separated from the use served by a street right-of-way with a width of more than 60 feet, unless a grade separated pedestrian walkway is provided, or other traffic control or remote parking shuttle bus service is provided.
(3)
Zoning classification. Off-site parking areas require the same or a more intensive zoning classification than required for the use served.
(4)
Agreement for off-site parking.
a.
In the event that an off-site parking area is not under the same ownership as the principal use served, a written agreement between the record owners will be required. The agreement must guarantee the use of the off-site parking area for at least ten years. An attested copy of the agreement between the owners of record must be submitted to the director or designee for filing in form established by the city attorney. Prior to the issuance of a building permit or approval of a certificate of occupancy for any use to be served by off-site parking areas, filing of the agreement must take place in the community development department.
b.
An off-site parking agreement may be revoked only if all required off-street parking spaces will be provided, in accordance with section 5.2.3, minimum off-street parking requirements. No use shall be continued if the parking is removed unless substitute-parking facilities are provided, and the director or designee shall be notified at least 60 days prior to the termination of a lease for off-site parking.
C.
Shared parking. The director or designee may approve shared parking facilities for developments or uses with different operating hours or different peak business periods if the shared parking complies with the all of following standards:
(1)
Location. Shared parking spaces must be located within 300 feet of the primary entrance of all uses served, unless remote parking shuttle bus service is provided.
(2)
Zoning classification. Shared parking areas require the same or a more intensive zoning classification than required for the use served.
(3)
Shared parking study. Those wishing to use shared parking as a means of satisfying off-street parking requirements must submit a shared parking analysis to the director or designee that clearly demonstrates the feasibility of shared parking. The study must be provided in a form established by the director or designee and made available to the public. It must address, at a minimum, the size, and type of the proposed development, the composition of tenants, the anticipated rate of parking turnover and the anticipated peak parking and traffic loads for all uses that will be sharing off-street parking spaces.
(4)
Agreement for shared parking. A shared parking plan will be enforced through written agreement among all owners of record. An attested copy of the agreement between the owners of record must be submitted to the director or designee for recordation in a form established by the city attorney. Recordation of the agreement must take place before issuance of a building permit for any use to be served by the off-site parking area. A shared parking agreement may be revoked only if all required off-street parking spaces will be provided, in accordance with section 5.2.3, minimum off-street parking requirements.
D.
Other eligible alternatives. The director or designee may approve any other alternative to providing off-street parking spaces on the site of the subject development if the applicant demonstrates to the satisfaction of the director or designee that the proposed plan will do at least as good a job protecting surrounding neighborhoods, maintaining traffic circulation patterns and promoting quality urban design than would strict compliance with otherwise applicable off-street parking standards.
E.
Use of off-street parking areas. Required off-street parking areas are to be used solely for the parking of licensed, motor vehicles in operating condition. Required spaces may not be used for the display of goods for sale or lease or for long-term storage of vehicles, boats, motor homes, campers, mobile homes, or building materials.
5.2.9 Vehicle stacking areas. The vehicle stacking standards of this subsection shall apply unless otherwise expressly approved by the director or designee.
A.
Minimum number of spaces. Off-street stacking spaces shall be provided as follows:
B.
Size. Stacking spaces must be a minimum of nine feet by 20 feet in size.
C.
Location. Stacking spaces may not impede on- or off-site traffic movements or movements into or out of off-street parking spaces.
D.
Design. Stacking spaces must be separated from other internal driveways by raised medians if deemed necessary by the director or designee for traffic movement and safety.
5.2.10 Accessible parking for physically handicapped persons. A portion of the total number of required off-street parking spaces in each off-street parking area shall be specifically designated, located, and reserved for use by persons with physical disabilities; or current New Mexico Building Code requirements.
A.
Number of spaces. The minimum number of accessible spaces to be provided shall be a portion of the total number of off-street parking spaces required, as determined from the following schedule. Parking spaces reserved for persons with disabilities shall be counted toward fulfilling off-street parking standards.
B.
Location. Accessible parking spaces shall be located on the shortest accessible route of travel from adjacent parking to an accessible building entrance. In parking facilities that do not serve a particular building, accessible parking spaces shall be located on the shortest route to an accessible pedestrian entrance to the parking facility. Where spaces have multiple entrances with adjacent parking, accessible parking spaces shall be disbursed and located near the accessible entrances.
(1)
Exception. In multilevel parking structures, van-accessible parking spaces are permitted on one level.
C.
Minimum dimensions. All parking spaces reserved for persons with disabilities shall comply with the parking space dimension standards of this section, provided that access aisles shall be provided immediately abutting such spaces, as follows:
(1)
Minimum width. Notwithstanding other provisions to the contrary, minimum width for spaces reserved for persons with disabilities shall be eight feet.
(2)
Car-accessible spaces. Car-accessible spaces shall have at least a five-foot wide access aisle abutting the designated parking space.
(3)
Van-accessible spaces. Van-accessible spaces shall have at least an eight-foot wide access aisle abutting the designated parking space.
(4)
Signs and marking. Required spaces for persons with disabilities shall be identified with signs and pavement markings identifying them as reserved for persons with disabilities. Signs shall be posted directly in front of the parking space at a height of no less than 42 inches and no more than 72 inches above pavement level.
5.2.11 Parking design standards.
A.
Markings.
(1)
Required parking spaces shall be permanently and clearly designated. Each such parking space and off-street parking facility shall be identified by surface markings and shall be maintained in a manner so as to be readily visible and accessible at all times. Such markings shall be arranged to provide for orderly and safe loading, unloading, parking, and storage of vehicles. Marking required to be maintained in a highly visible condition include striping, directional arrows, lettering on signs and in handicapped designated areas, and field color.
(2)
One-way accesses into required parking facilities shall be identified by directional arrows. Any one-way access shall be identified by directional sign "do not enter." Any two-way access located at any angle other than 90 degrees to a street shall be marked with a traffic separation stripe the length of the access. This requirement does not apply to aisles.
(3)
The director or designee may require additional internal circulation guides or regulation of speed by means of signage, pavement markings, speed bumps, raised curbs or like devices for parking areas accommodating 20 or more vehicles.
B.
Parking barriers. All parking areas for multifamily and nonresidential uses shall have barriers that prevent vehicles from extending more than two feet over on-site private landscaping. Such barriers shall prevent vehicles from extending over sidewalks or adjoining property in all cases.
C.
Surfacing and maintenance.
(1)
All off-street parking areas, alleys and access easements for new residential development, and new or redevelopment of commercial properties shall be paved and maintained in a dust-free, well-drained, serviceable condition at all times. Minimum surfacing shall consist of two inches of asphaltic concrete over a four-inch compacted subgrade or surface of similar or superior characteristics approved by the director or designee, except where section 5.3 provides for a lesser standard. Such construction shall meet city standards and specifications.
(2)
Resurfacing, sealing or restriping of a parking area requires review and approval of the director or designee to ensure retention of correct number of required parking spaces including ADA spaces.
(3)
Surfacing of industrial storage yards, vehicle storage yards, or like uses, not including employee parking, which require outside or vehicular storage shall be a minimum of four inches of gravel road base and maintained in a dust free condition.
D.
Dimensions. Required off-street parking spaces shall comply with the following minimum dimensional standards:
E.
Vertical clearance. Vertical clearance for off-street parking spaces shall be seven feet.
F.
Layout of internal circulation system.
(1)
The layout of the circulation system shall be designed to provide access between parking spaces and streets, and to accommodate vehicular traffic and pedestrians safely and efficiently with a minimum impact on adjacent properties.
(2)
The layout of the circulation system shall be adapted to the site, taking into consideration physical factors such as natural elements, grade, and drainage, as well as aesthetic factors, such as the visual impact of the street pattern and the highlighting of special site features.
(3)
Parking areas shall be designed to provide for internal circulation in which no backing movement is needed except that required to leave a given stall. It should be possible to maneuver within any parking area without use of public right-of-way and so roadway ingress can be made in a forward manner.
(4)
No backing onto public streets shall be allowed for any nonresidential or multiple family residential use. Backing onto dedicated alleys or private access easements is permitted as is backing from single and two-family residential dwellings onto local streets, but circular drives or similar accommodations must be provided for all new residential construction fronting on collector or arterial streets as designated on the city's major thoroughfare plan.
(5)
Alleys may be used as maneuvering space for access to off-street parking, subject to adequate sight distance and approval by the director or designee.
(6)
All parking proposed to be located in public right-of-way must be approved for an encroachment permit by the director or designee.
G.
Aisle widths. Aisles adjoining off-street parking spaces shall conform to the most recent City of Farmington "Design & Construction Standards with Technical Specification" and shall comply with the following dimensional standards.
5.2.12 Loading design standards. Off-street loading spaces shall meet the following design requirements:
A.
Location. All required loading berths shall be located on the same lot as the use served. No loading berth shall be closer than 50 feet to any private property in a residential district. No permitted or required loading berth shall be located within 25 feet of the nearest point of intersection of any two streets. No loading berth shall be constructed on the front of a building located in the PIP district.
B.
Dimensions. Each off-street loading space shall be a minimum of 12 feet in width and 45 feet in length, with a vertical clearance of at least 15 feet. Such spaces shall be at grade level or lower and on the same parcel of land as the corresponding building, use, or structure.
C.
Maneuvering area. Adjacent public rights-of-way and private properties shall not be used for maneuvering. All maneuvering shall be contained on-site. Maneuvering areas for loading facilities shall not conflict with parking spaces or with the maneuvering areas for parking spaces. Minimum turning radius for 180 degrees shall not be less than 25 feet.
D.
Screening. All loading spaces and areas shall be adequately screened from view along rights-of-way and from any residential areas.
E.
Surfacing and maintenance. Parking areas shall be maintained level and serviceable, with provision for drainage of standing water. Minimum surfacing shall consist of two and one-half inches of asphaltic concrete over a six-inch compacted subgrade or surface of similar or superior characteristics approved by the city engineer.
(Ord. No. 2011-1248, § 1, 7-12-2011; Ord. No. 2021-1325, 3-9-21; Ord. No. 2022-1335, 1-25-22; Ord. No. 2025-1373, 6-10-25)
5.3.1 Purpose. To manage street access in a safe manner. The number of private access points allowed will depend on the functional classification of the roadway, whether the requested curb cut is located in a residential or nonresidential area and the length of the front property line measured along the adjacent street. Limitations shall be administered to site access along high average daily traffic (ADT) corridors and other areas where the goal is to minimize traffic flow interruptions.
5.3.2 Street access per functional classification. No use shall be permitted to take direct access to a street except as allowed in this section.
A.
Single-family residential.
(1)
Lanes, alleys and local streets. All single-family residential uses shall take direct access to local streets.
(2)
Collector streets. Single-family residential uses shall not take direct access to a collector street, except when a local street is not available. A single-family dwelling may take direct access to collector streets that primarily serve residential purposes.
(3)
Arterial streets, minor and principal. Single-family residential uses shall not take direct access to arterial streets. When there is no alternative and a single-family residential use takes access to an arterial street, the point of access shall be directly across from another existing point of access, or spaced at least 200 feet from any intersecting street or other point of access to the arterial.
B.
Multi-family and nonresidential.
(1)
Access for multi-family and nonresidential uses shall be provided by a collector or arterial street. Access by a local street may be approved by the director or designee only when access to a collector or arterial street is not available.
5.3.3 Driveways and curb cuts (all development). All driveways and parking lot entrances and exits shall be subject to the approval of the director or designee and the following requirements:
(1)
Shared driveways. Shared driveways shall be allowed and may be required by the director or designee at the time of platting, or as a replat of the affected lots.
(2)
Abandoned driveway. any abandoned curb cuts shall be replaced with sidewalk, curb, and gutter by the property owner. As a part of any Community Works roadway projects, after 30-day notice, the city may close abandoned site accesses.
(3)
Requested driveway point removal. The Director may consider the removal of any excessive curb cuts per this section.
A.
Driveways and curb cuts for residential properties.
Table 1
(1)
Residential driveways that straddle property lines, or are entirely on one property but used by another property, shall have a recorded access easement. Sufficient area behind the driveway apron shall be provided for the proper operation of the curb cut.
(2)
For residential properties with a minimum of 80-feet of frontage adjacent to the roadway two driveways may be installed upon approval of the director or designee.
a.
For residential properties with interior lots with two access points, driveways shall be spaced a minimum 30 feet from each other unless otherwise approved by the director or designee.
(3)
Driveways shall be a minimum of five feet from the side interior adjacent property lines.
(4)
Driveways located on corner properties shall be located five feet from the beginning of the curve at the curb line, or 25 feet from the property line. The greater distance will be the deciding factor.
(5)
Any existing residential driveways that access arterial or collector streets directly may install a circular driveway. All frontage and safe sight triangle requirements shall be met and approved by the director or designee.
(6)
Driveways shall have sufficient area behind the drive pad for the proper operation of the curb cut. The minimum length of a driveway shall be 20-feet, or as otherwise determined by the director or designee.
(7)
Attached dwelling units shall utilize a shared driveway where possible.
a.
Shared access driveways may be separated beyond the back of the sidewalk.
b.
The maximum width of the shared access point allowed is 36 feet.
c.
Shared driveways shall be evaluated on a case-by-case basis for unique safety concerns.
(8)
The maximum average slope of a residential driveway is two in 12 or 16 percent.
(9)
The required egress door from a residence is required to have a connection to the public way with a ramp or stairs or combination of, constructed to the adopted residential code.
B.
Paving requirements for residential driveways.
(1)
All required parking areas for residential units shall be connected to a public street or alley by means of a driveway or private access easement. All driveways providing access to such parking areas shall be paved, except as follows:
a.
In the RA district, RE-1 district, RE-2 district and RE-20 district, driveways shall be:
i.
Surfaced with a minimum of six inches of gravel road base, and
ii.
Have a paved drive pad 20 feet in depth and the minimum width of driveways adjoining paved streets.
(2)
Driveways for properties with an existing mobile or manufactured home that are replaced with a newer or upgraded unit shall consist of at a minimum a compacted all-weather surface with a ten-foot-wide concrete apron.
(3)
No more than 50 percent of the front yard shall be covered with concrete or asphalt. (See section 5.2.6.B.(2))
C.
Maximum curb cut width. Curb cuts shall conform to the following maximum width requirements. Measurement shall take place on the gutter line and does not include transition.
(1)
Residential. Maximum width of curb cuts accessing residential uses only shall be as follows:
a.
Curb cuts accessing one-car garages, carports or paved driveway: 12 feet.
b.
Curb cuts two-car garages, carports or paved driveway: 24 feet.
c.
Curb cuts three-car garages, carports or paved driveway: 36 feet.
d.
The maximum curb cut for any residential property shall not exceed 36 feet.
(2)
Nonresidential. Maximum width of driveways accessing nonresidential uses shall be determined by the city or state (NMDOT) authority having jurisdiction over the roadway from which access is being taken. The width of a landscaped center median shall not count towards this standard. Prior to approval of a curb cut for a nonresidential use, the property owner shall provide detail as to what types of vehicles the curb cut is designed to accommodate.
a.
The driveway width requirement may require a trip generation report produced by the nonresidential property owner as determined by the director or designee.
Table 2
Driveway Widths
D.
Emergency turnarounds-all uses. Internal emergency vehicle turnarounds shall be provided as required by the fire code.
Table 3
Curb Return Radii by Design Vehicle
E.
Turn radius—All uses. Minimum turn radii requirements are listed below unless otherwise approved by the director or designee.
5.3.4 Street intersections and curb cut separations-nonresidential uses.
A.
Curb cuts for multi-family, mixed use, and nonresidential sites.
(1)
Location of site access points should include the following considerations:
a.
Minimum distance from an intersection.
b.
Maximum number of site access points allowed by corridor type per site.
(2)
Driveways accessing industrial yards, vehicle storage yards or like uses, not including employee parking, which require outside or vehicular storage shall be:
a.
Surfaced with a minimum of six inches of gravel road base, and
b.
Have a three inch paved drive pad 20-feet in depth and the width of driveways adjoining paved streets.
B.
Nonresidential driveway/curb cuts site distances from an intersection.
Table 4
All Other Nonresidential Access Separations from Intersections
(1)
In determining driveway access separations from intersections, the following standards found in Table 4 shall apply. Measurement shall be from the curbline extension of the intersecting street to the driveway.
(2)
A written request to shorten the distance of any nonresidential access point may be submitted to the director or designee. If approved, only a right-in and right-out access will be granted.
C.
Curb cut separation on highways. Curb cut separation on highways shall be subject to the approval of both the director or designee and New Mexico Department of Transportation (NMDOT). Recorded easements for shared access, provision of acceleration/deceleration lanes, TIA traffic signals and other right-of-way improvements for these cuts may be required.
D.
Curb cut separation on arterials. Curb cut separation on arterials (principal and minor) other than state highways shall be subject to the approval of the director or designee. Recorded easements for shared access may be required. Adjoining parcels under common ownership may be required to share a curb cut. A TIA and associated improvements may be required.
(1)
Commercial property curb cut separations on arterial streets.
a.
The number of full access driveways shall be based on the frontage the property shares with the adjacent roadway as outlined in the table below.
Table 5
Number of Allowable Curb Cuts on Arterial Streets
(Excluding Pinon Hills Boulevard & NMDOT)
b.
Commercial property along an arterial street (principal or minor) with 150 feet or less of property lot width adjacent to the street shall only be allowed one driveway access point; if the business cannot be accessed by way of a collector or local street.
c.
Commercial property along an arterial street (principal or minor) with 151 feet to 250 feet of property lot width adjacent to the street may have two driveway access points if the property cannot be accessed by way of a collector or local street. These driveway access points should be evenly spaced within the property lot.
d.
Thereafter, each additional 100 feet or property lot width will allow for an additional driveway access point. Driveway access points within the property lines should be evenly spaced.
e.
Commercial driveways that have 100 linear feet of frontage property width adjacent to the roadway such as drive-thru restaurants may install two driveways that are entrance and exit only if there is no available driveway access on a collector or local street.
f.
Separation on Pinon Hills Boulevard and NMDOT right-of-way does not apply to this section.
E.
Curb cut separation on collectors. The number of full access driveways shall be based on the frontage the property shares with the adjacent roadway, subject to the approval of the director or designee.
(1)
Commercial properties along a collector street with 100-feet or less of property lot width adjacent to the street shall have a one driveway access point.
(2)
Commercial properties along a collector street with 101-feet to 200-feet of property lot width adjacent to the street, may have two driveway access points. These driveway access points should be evenly spaced within the property lot.
(3)
Each additional 100 feet of property lot width will allow for an additional driveway access point.
(4)
For commercial access points that enter into a gravel or dirt parking area, the paved drive pad apron shall extend a minimum length of 20 feet from the roadway while maintaining the same original driveway width. This requirement is to keep the gravel off the roadway. This requirement is both for new development, change of ownership or evidence of an existing traffic hazard.
(5)
Driveways to commercial and industrial properties having minimal frontage property width adjacent to the roadway may install two driveways that are entrance and exit only.
F.
Curb cut separation on local streets. Curb cut separation on local streets shall be subject to the approval of the director or designee and generally follow residential standards in the UDC and City specifications.
G.
Limited access. Corner parcels may be required to have all access from a side street or alley as determined by the director or designee. A nonvehicular easement may be required to restrict curb cuts to approved locations.
5.3.5 Signalized intersections required. Major employment sites and retail centers shall have access to a signalized intersection, unless waived by the director or designee based on a traffic impact analysis.
5.3.6 Corner setbacks and intersection visibility (safe sight triangle). The following standards shall apply at any corner of intersecting streets or driveways, except in the CB district; provided, however, the director or designee may modify the requirements of this section depending upon-site conditions and as necessary to protect public safety.
A.
No structure or planting (at mature growth) that exceeds three feet in height shall be permitted within a corner setback. Exceptions are permitted for utility poles, lighting standards, fire hydrants, mail boxes, city or state traffic signs, and trees (at mature growth) if the lower canopy allows a clear line of sight between three feet and seven feet above the street grade. A sign permitted by section 5.8 may be located within the intersection visibility area, provided, that visual clearance exists between three feet and seven feet above the ground.
B.
Corner setbacks for sight distance extend within the area formed by the legs of a triangle whose apex is the point of intersection of the rights-of-way lines of the adjacent streets.
C.
Corner setbacks for sight distance apply to the intersection of driveways with other driveways.
D.
The following minimum corner setbacks, measured in accordance with the requirements of subsection 5.3.6B., above, shall be required.
5.3.7 Easements.
A.
Utility easements. Uniform and continuous easements shall be provided along the front and side lot lines for utility service. Utility service shall not be permitted along rear lot lines without the approval of the director or designee. Easements for water, sewer, and storm sewer lines shall be at least 20 feet in width; however, greater widths may be required as necessary to maintain proper separation between water and sewer utilities. Other utility easements (for other than water, sewer, and storm sewer lines) shall be a minimum of five feet in width when abutting the street lot lines and at least three feet in width when abutting interior lot lines.
B.
Building within easements. No building or improvements shall be erected on said easements; provided, however, that fences, and patios or decks no more than 30 inches above grade are erected and maintained subject to the easement rights.
C.
Emergency access easements. The director or designee may require emergency access easements as prescribed by the fire chief or building official. Such easements shall be at least 24 feet in width. Emergency access easements may be divided by lot lines. Parking is prohibited in such easements in accordance with the adopted fire code, Farmington Municipal Code, section 13-3-1.
D.
Cross-access easements.
(1)
If a parcel is to be developed for any nonresidential land use, a cross-access easement shall be provided by the property owner to adjoining properties that front on the same street and that are, or may be, developed as nonresidential land uses.
(2)
Cross-access easements shall have a minimum width of 24 feet and shall be situated parallel to the street right-of-way line abutting both parcels. Access easements shall be maintained by the property owner.
(3)
The property owner shall provide appropriate documentation of a good faith effort to extend the access easement through all immediately abutting properties. If such an effort fails, the portion of the easement on the subject site shall be developed and designed to ensure future connection to the neighboring properties.
(4)
Where a cross-access easement is granted, no permanent structures that would interfere with the proposed access shall be permitted in the easement. Some improvements such as medians and parking islands may be constructed within an access easement if it has been demonstrated that adequate circulation and cross-access has been accomplished, and that all applicable standards of this UDC have been met.
(5)
The director or designee may waive the requirement for an easement of access required above in those cases where unusual topography or site conditions would render such an easement of no useable benefit to adjoining properties.
(6)
The director or designee may approve the vacation of an easement of access in those cases where adjoining parcels are subsequently developed with a residential use.
5.4.1 Purpose. The purpose of this section is to provide for adequate privacy and security without impeding or obstructing vision at intersections.
5.4.2 Applicability. Unless otherwise expressly provided in this UDC, fences and walls shall comply with the following general standards.
5.4.3 Permit requirements. It shall be unlawful to install or construct or cause to be installed or constructed any fence or wall (including electric and barbed wire fences) without obtaining a building permit. All applications for fence or wall permits shall be submitted to the director or designee and shall be accompanied by a sketch or design of the proposed fence or wall and a site plan showing the location of the proposed fence or wall.
5.4.4 Fence and wall location and height. Fence and wall locations and heights shall be as follows unless otherwise specified in this UDC:
A.
Residential districts.
(1)
Fences and walls located in required front yards (setback) shall be limited to a height of three feet at the front right-of-way line, rising evenly to a maximum of 54 inches at setback line, and thereafter a maximum of six feet; provided, however that properties approved for horses in the RA, RE-2 and RE-1 districts may have front yard fences up to four feet in height. This provision shall not apply to open wrought iron fencing with low opacity.
(2)
Fences and walls not located in the required front yard (setback) shall be limited to six feet in height, unless engineered for stability.
(3)
On back-to-back corner lots a 15-foot street side yard is allowed. However, a fence or wall may be constructed on the property line, provided no driveway access (except RV parking) exists on the street side yard of the subject property or on the property to the rear. If driveway access exists on the subject property or on the lot to the rear, all structures, including fence or wall, must respect the 15-foot street side yard setback and intersection visibility as set forth [in] section 5.3.6.
(4)
Where a corner lot abuts an interior side yard of the property to the rear, there shall be a front yard setback on both streets with the street side yard being equal to the front yard of the lot to the rear, but in no case less than 15 feet. Fences must adhere to the location and height requirements of subsection 5.4.4A.(1).
B.
Nonresidential districts.
(1)
IND district. In the IND district, fences and walls shall be limited to eight feet in height, including any barbed wire.
(2)
All other nonresidential districts. In all other nonresidential districts, front yard fences and walls (those located between the road right-of-way and the front setback line) shall be limited to three feet in height, or up to eight feet using wrought iron open design (see section 2.8.2 for front yard setbacks). Fences and walls not located in the required front yard shall be limited to eight feet in height.
5.4.5 Visual obstructions. All fences, walls, and hedges shall be subject to the section 5.3.6, corner setback and intersection visibility (safe sight triangle).
5.4.6 Barbed wire and electric fences. Barbed wire and electric fences shall be subject to the following requirements:
A.
Use of barbed wire, razor wire, and/or electric fences shall be prohibited, except in IND district and the RA district.
B.
Where barbed wire, razor wire and/or electric fences are allowed, it shall be placed:
(1)
Not less than six feet from the ground at the fence line and shall not exceed eight feet in height, and
(2)
At least five horizontal feet from any sidewalk or area reserved for a sidewalk.
C.
Where the use of barbed wire or electrified fence is a threat to public safety, removal in part or whole may be required upon notification to the property owner.
5.4.7 Retaining walls. The retaining wall standards of this section are intended to reduce the visual impact of screening and retaining methods used on hillside developments. Specific criteria for design include the following:
A.
Walls visible from public rights-of-way, within the frontyard setback(s), shall either incorporate the use of native materials or complement the native surroundings.
(Ord. No. 2021-1325, 3-9-21)
5.5.1 Purpose. The section provides standards for the installation and maintenance of landscaping, walls, and screening devices in order to preserve and enhance the natural environment and beauty of the city, to minimize the adverse effects of development, and to promote the general welfare of the citizens of Farmington. Landscaping materials, including ground cover, shrubs, and trees facilitate the control of erosion and the reduction of glare and dust, and soften the visual impact of building masses. Walls and screening devices allow the separation of potentially incompatible uses and the buffering of road noise and intensive activities. Landscaping, walls and screening devices together, help to effectuate privacy, logical development, and enhancement of property values. In order to preserve the unique natural character of the city, these standards emphasize the retention of native trees, shrubs, rock formations, and other natural site features. To conserve water resources, use of drought-tolerant plant materials and efficient irrigation systems is encouraged. (See xeriscaping report provided in appendices).
5.5.2 Applicability. This section shall apply to all portions of street yards, as defined in section 11.1, terms defined, associated with the following development:
A.
All new construction, not including additions or modifications, in multifamily and nonresidential development;
B.
Enlargement exceeding 1,000 square feet or 30 percent of the floor area of an existing multifamily or nonresidential structure, whichever is greater, for which a building permit is required; including cumulative enlargements totaling 30 percent or 1,000 square feet or greater made over a period of five years;
C.
Expansion of an existing parking lot to accommodate additional parking (to apply to the expansion area only); and
D.
As otherwise specified in this UDC.
5.5.3 Right-of-way landscaping. Subject to the approval of appropriate city or state (NMDOT) authorities, all undeveloped portions of the adjacent right-of-way (not used for roads, sidewalks and other public improvements) shall be landscaped with trees, shrubs, grasses, ground cover or other organic and inorganic materials. At a minimum, landscaping is to include at least two different materials of different size, color and/or texture so as to create an attractive appearance in accordance with the requirements of this section. Smooth concrete or asphalt surfaces are not considered landscaping.
5.5.4 Open space landscaping. All disturbed soils of the building permit site not developed with buildings or required parking shall be landscaped with trees, shrubs, grasses, ground cover or other organic and/or inorganic materials in accordance with the requirements of this section before final certificate of occupancy may be issued. All of the requirements of this section (including requirements of section 5.5.5, street frontage landscaping; section 5.5.6, parking area landscaping; and subsection 5.5.6C., screening standards) shall be credited toward satisfaction of the following on-site open space landscaping planting area requirements:
A.
Landscape planting (organic) area.
(1)
Open space landscape areas equal to a minimum of five percent of the gross site shall be included as part of all developments in accordance with the requirements of this section.
(2)
"Planting area" includes lawn or native grass areas, as well as areas that will be covered by the shrub and tree canopy at maturity.
B.
Location of open space landscaping. Plant units required pursuant to this section shall be installed in required front and street side setback areas to the maximum extent possible.
C.
Plant units. At least one tree and five shrubs, perennials or ornamental grasses shall be provided per each 500 square feet of required open space landscaping. Greater densities of trees and shrubs are required in specific areas. Clustering of trees and shrubs is encouraged in all cases to promote a more natural appearance. Landscaped area includes lawn or native grass areas, as well as areas that will be covered by the shrub and tree canopy at maturity.
D.
Existing trees. Existing, mature trees located on all development sites shall be preserved to the extent practical, particularly within required setback areas. Such preserved, mature trees shall be credited on a 2:1 basis toward the tree planting requirements of subsection 5.5.4C., plant units.
5.5.5 Street frontage landscaping.
A.
Applicability. Street frontage landscaping, except adjacent to parking areas (See subsection 5.5.6A., below), shall be provided along street rights-of-way in accordance with the standards of this subsection.
B.
Relationship to other landscaping standards. Landscaping provided to meet the street frontage landscaping standards of this subsection may be counted towards meeting a project's open space landscaping requirements of section 5.5.4 above.
C.
Minimum width. The minimum width of required street frontage landscaping shall be ten feet; although this may be reduced to eight feet if at least 50 percent of the minimum required area is planted. On unusually shallow lots, the director or designee may approve reduced street frontage landscaping width for shallow lots equal to five percent of the depth of the lot or five feet, whichever is greater.
D.
Planting standards. Organic plantings must, at a minimum, meet the planting requirements provided in subsection 5.5.4C.
5.5.6 Parking area landscaping. Off-street parking areas shall be screened and landscaped in accordance with the requirements of this subsection. Screening shall be provided to a minimum of 30 inches above the highest adjacent, finished grade of the parking area. Such screening may be accomplished by the use of trees and hedges, earth berms, masonry walls, or combinations thereof. (See also subsection 5.5.4C., plant units).
A.
Applicability. Parking area landscaping shall be provided along street rights-of-way adjacent to parking areas, other adjacent parking areas and within 50 feet of parking areas in the LNC district, and as otherwise required by this Code in accordance with the standards of this subsection.
B.
Relationship to other landscaping standards. A five-foot landscaped buffer strip is required between parking areas. Parking area landscaping provided to meet the parking area landscaping standards of this subsection may be counted towards meeting a project's open space landscaping requirements of section 5.5.3, above.
C.
Parking areas terminal islands. Landscaped parking islands shall be provided for every 30 lineal parking spaces. Parking area islands shall have minimum interior dimensions of at least six feet in width and 15 feet in length. At least one tree shall be provided within each terminal island. Landscaped islands separating parking rows horizontally must be at least six feet wide. Trees in islands shall have a minimum height of eight feet of clearance from the ground to the canopy.
D.
Parking area center islands: Landscaped parking islands shall be provided for every 15 lineal parking spaces. Center islands may be aligned across traffic aisles or be off set.
5.5.7 Screening standards. Where screening is required by this UDC (see commentary below), screening shall be accomplished by the use of walls, fences, and/or dense plantings in accordance with the following standards:
A.
Height of screening devices.
(1)
Measurement. The height of screening devices shall be measured from the highest finished adjacent grade of the element to be screened.
(2)
Height. Minimum height of required screening shall be six feet or one foot taller than the item to be screened, whichever is less; provided, however, that the maximum height of screening devices within required front yard areas shall be limited in accordance with the requirements of section 5.4.4, fence and wall location and height.
B.
Relationship to other landscaping standards. Plantings utilized to meet the screening standards of this subsection may be counted towards meeting a project's open space landscaping requirements of section 5.5.3, above.
C.
Screening devices. All required screening shall be complementary and compatible with the surrounding general character and appearance of the neighboring area. In order to accomplish this goal, required screening shall include an opaque fence or wall, a dense planting of trees and shrubs, or a combination thereof. Where trees and shrubs are required, at least one tree and five shrubs shall be required for each 30 linear feet or required screening.
(1)
IND district and adjacent to nonresidential uses and districts. In the IND district and adjacent to nonresidential uses and districts, a minimum of a chain link fence with pre-woven opaque panels may be utilized; or a dense planting of trees and shrubs, or a combination thereof. Where trees and shrubs are used, at least one tree and five shrubs shall be required for each 30 linear feet of required screening.
(2)
All other districts and adjacent to residential uses and districts. In all other districts and adjacent to residential uses and districts, an opaque vinyl or wood fence or a masonry wall shall be utilized. Where trees and shrubs are used, at least one tree and five shrubs shall be required for each 30 linear feet of screening.
D.
Dumpsters. Common or shared trash dumpsters, trash receptacles, and waste/recycling containers shall be screened from view off-site. Such dumpsters, receptacles and containers shall be screened from public view on three sides by a solid wall at least six feet in height and oriented so that the dumpster has minimum impact and the least visibility from the street. A decorative gate and wall may be added and shall be maintained in good working order and shall remain closed except when trash pick-ups occur. The wall and gate shall be architecturally compatible with other buildings and structures on the site.
(Ord. No. 2011-1251, § 3, 10-25-11)
5.5.8 General requirements.
A.
Preparation of landscape and screening plans. Any proposed building, parking area or use shall be shown on a landscape or screening plan indicating the location of existing and proposed buildings, parking areas, street improvements, locations and types of landscaped areas, walls, and screening devices. All landscape plans detailing proposed installation shall be subject to review and approval by the city's landscape professional. Irrigation plans shall be submitted with the landscaping plans.
B.
Irrigation. Required landscaped areas shall in all cases be irrigated as necessary by an automatic system to maintain required plant materials in good and healthy condition. (City irrigation standards and guidelines are attached in section 13.5 as an appendix). Irrigation systems shall incorporate EPA's Water Sense best practices.
C.
Installation. All landscaping shall be installed in accordance with the approved landscape or screening plan and according to sound nursery practices in a manner designed to encourage vigorous growth. All landscape material and irrigation improvements shall be in place prior to issuance of the final certificate of occupancy unless an extension is approved by the director or designee and a deferred completion agreement is executed. Irrigation systems shall be installed by a licensed installer.
D.
Maintenance requirements. Trees, shrubs, fences, walls, irrigation improvements, and other landscape features depicted on plans approved by the city shall be considered elements of the project in the same manner as parking, building materials and other details are elements of the plan. The landowner, or successors in interest, or agent, if any, shall be jointly and severally responsible for the following:
(1)
Regular maintenance of all landscaping and irrigation improvements in good condition and in a way that presents a healthy, neat, and orderly appearance. All landscaping shall be maintained free from disease, pests, weeds, and litter. This maintenance shall include weeding, watering, fertilizing, pruning, mowing, edging, mulching or other maintenance, as needed and in accordance with acceptable horticultural practices;
(2)
The repair or replacement of required landscape structures (e.g., walls, fences) to a structurally sound condition; and
(3)
The regular maintenance, repair, or replacement, where necessary, of any landscaping required by this section. Any plant materials not surviving shall be replaced within 30 days of its demise or in the next appropriate season.
E.
Landscape material standards.
(1)
General design. Plant materials shall be selected for: energy efficiency and drought tolerance; adaptability and relationship to the Farmington environment; color, form and pattern; ability to provide shade; and soil retention. The overall landscape plan shall be integrated with all elements of the project, such as buildings, parking lots, and streets, to achieve a desirable microclimate and minimize energy demand.
(2)
Plant quality. Plants installed to satisfy the requirements of this section shall meet or exceed the plant quality and species standards of the New Mexico Association of Nursery Industries. Plants shall be adapted to the local area. No artificial plants or vegetation shall be used to meet any standards of this section unless approved by a landscaping plan.
(3)
Plant sizes and specifications. The following minimum plant size requirements shall apply to the minimum landscaping requirements. Plantings in addition to the landscaping requirements may be of a different size.
(4)
Ground treatments.
a.
Rock mulch. Rock mulch shall be installed and maintained at a minimum depth of two inches and a maximum depth of four inches on all planted areas except where ground cover plants are fully established.
b.
Grass seed and sod. Turf areas shall be planted with species suitable as permanent lawns in Farmington. Turf areas may be sodded or seeded. Additional maintenance shall be provided until coverage is complete.
c.
Other. Other ground covers suitable for the soil and climate conditions of the area may be approved within required landscape areas.
(5)
Species. Tree and plant species provided to meet the landscaping and screening standards of this section shall comply with recommendations of the director or designee as outlined in the city guidelines.
(Ord. No. 2021-1325, 3-9-21)
5.6.1 Purpose. It is the purpose of this section to promote public health, safety, and general welfare and to minimize public and private losses due to flood conditions in specific areas by provisions designed to:
A.
Protect human life and health;
B.
Minimize expenditure of public money for costly flood control projects;
C.
Minimize the need for rescue and relief efforts associated with flooding and generally undertaken at the expense of the general public;
D.
Minimize prolonged business interruptions;
E.
Minimize damage to public facilities and utilities such as water and gas mains, electric, telephone and sewer lines, streets and bridges located in floodplains;
F.
Help maintain a stable tax base by providing for the sound use and development of flood-prone areas in such a manner as to minimize future flood blight areas; and
G.
Ensure that potential buyers are notified that property is in a flood hazard area.
5.6.2 Applicability. This section shall apply to all development in areas of special flood hazards within the corporate limits of the City of Farmington.
5.6.3 Statutory authority. The legislature of the state has, pursuant to NMSA 1978, § 3-18-7, delegated the responsibility to local governments to adopt regulations designed to minimize flood losses. Therefore, the city council does ordain and adopt this section.
5.6.4 General provisions.
A.
Findings of fact.
(1)
The flood hazard areas of the city are subject to periodic inundation which results in loss of life and property, health and safety hazards, disruption of commerce and governmental services, and extraordinary public expenditures for flood protection and relief, all of which adversely affect public health, safety, and general welfare.
(2)
These flood losses are created by the cumulative effect of obstructions in floodplains which cause an increase in flood heights and velocities, and by the occupancy of flood hazard areas by uses vulnerable to floods and hazardous to other lands because they are inadequately elevated, flood-proofed, or otherwise protected from flood damage.
B.
Methods of reducing flooding. In order to accomplish its purpose, this section uses the following methods of reducing flood losses:
(1)
Restrict or prohibit uses that are dangerous to health, safety or property in times of flood, or that cause excessive increases in flood heights or velocities;
(2)
Require that uses vulnerable to floods, including facilities which serve such uses, be protected against flood damage at the time of initial construction;
(3)
Control the alteration of natural floodplains, stream channels, and natural protective barriers, which are involved in the accommodation of floodwaters;
(4)
Control filling, grading, dredging and other development which may increase flood damage; and
(5)
Prevent or regulate the construction of flood barriers which will unnaturally divert floodwaters or which may increase flood hazards to other lands.
C.
Basis for establishing the areas of special flood hazard. The areas of special flood hazard identified by the Federal Insurance Administration in a scientific and engineering report entitled "The Flood Insurance Study for the City of Farmington", dated May 15, 2002, with an accompanying flood insurance rate map (FIRM), which shows flood hazard areas and designated floodways are hereby adopted by reference and declared to be a part of this section. The flood insurance study is on file at the floodplain administrator's office at 800 Municipal Drive, Farmington, New Mexico. The flood insurance study is the minimum area of applicability of this section and may be supplemented by studies for other areas which allow implementation of this section and which are recommended to the city council by the floodplain administrator.
D.
Compliance. No structure or land shall hereafter be constructed, located, extended, converted, or altered without full compliance with the terms of this section and other applicable regulations.
E.
Abrogation and greater restrictions. This section is not intended to repeal, abrogate, or impair any existing easements, covenants, or deed restrictions. However, where this section and another ordinance, easement, covenant, or deed restriction conflict or overlap, whichever imposes the more stringent restrictions shall prevail.
F.
Interpretation. In the interpretation and application of this section, all provisions shall be:
(1)
Considered as minimum requirements;
(2)
Liberally construed in favor of the city council; and
(3)
Deemed neither to limit nor repeal any other powers granted under state statutes.
G.
Warning and disclaimer of liability. The degree of flood protection required by this section is considered reasonable for regulatory purposes and is based on scientific and engineering considerations. Larger floods can and will occur on rare occasions. Flood heights may be increased by manmade or natural causes. This section does not imply that land outside the areas of special flood hazards or uses permitted within such areas will be free from flooding or flood damages. This section shall not create liability on the part of the city, any officer or employee thereof, or the Federal Insurance Administration, for any flood damages that result from reliance on this section or any administrative decision lawfully made hereunder.
5.6.5 Administration. The floodplain regulations of this section shall be administered in accordance with the provisions of section 7.7, floodplain administrator.
5.6.6 General standards. In all areas of special flood hazards, the following are required for all new construction and substantial improvements:
A.
All new construction or substantial improvements shall be designed or modified and adequately anchored to prevent flotation, collapse or lateral movement of the structure resulting from hydrodynamic and hydrostatic loads, including the effects of buoyancy;
B.
All new construction or substantial improvements shall be constructed by methods and practices that minimize flood damage;
C.
All new construction or substantial improvements shall be constructed with materials resistant to flood damage;
D.
All new construction or substantial improvements shall be constructed with electrical, heating, ventilating, plumbing, and air conditioning equipment and other service facilities that are designed or located so as to prevent water from entering or accumulating within the components during conditions of flooding;
E.
All new and replacement water supply systems shall be designed to minimize or eliminate infiltration of floodwaters into the system;
F.
New and replacement sanitary sewer systems shall be designed to minimize or eliminate infiltration of floodwaters into the systems and discharge from the systems into floodwaters; and
G.
On-site waste disposal systems shall be located to avoid impairment to them or contamination from them during flooding.
5.6.7 Specific standards. In all areas of special flood hazards where base flood elevation data has been provided as set forth in subsection 5.6.4C., basis for establishing the areas of special flood Hazard; or where the basis has not been established, subsection 7.7.2H., powers and duties, the following are required:
A.
Residential construction. New construction and substantial improvement of any residential structure shall have the lowest floor, including basement and all mechanical equipment, elevated to one foot or more above the base flood elevation. A registered professional engineer, or land surveyor shall submit a certification to the floodplain administrator that the standard of this subsection, as proposed in subsection 13.2.15A. is satisfied. (The city engineer does not have authority to waive this requirement.)
B.
Nonresidential construction. New construction and substantial improvements of any commercial, industrial or other nonresidential structure shall have either the lowest floor, including basement and all mechanical equipment, elevated to one foot or more above the base flood elevation or, together with attendant utility and sanitary facilities, be designed so if the base is below one foot above the base flood elevation the structure is watertight with walls substantially impermeable to the passage of water and with structural components having the capability of resisting hydrostatic and hydrodynamic loads and effects of buoyancy. A registered professional engineer shall develop or review structural design, specifications, and plans for the construction and shall certify that the design and methods of construction are in accordance with accepted standards of practice as outlined in this subsection. A record of such certification, which includes the specific elevation, in relation to mean sea level, to which such structures are flood-proofed, shall be maintained by the floodplain administrator.
C.
Enclosure. New construction and substantial improvements, with fully enclosed areas below the lowest floor that are usable solely for parking of vehicles, building access or storage in an area other than a basement and which are subject to flooding shall be designed to automatically equalize hydrostatic flood forces on exterior walls by allowing for the entry and exit of floodwaters. Designs for meeting this requirement must either be certified by a registered professional engineer or meet or exceed the following minimum criteria:
(1)
A minimum of two openings having a total net area of not less than one square inch for every square foot of enclosed area subject to flooding shall be provided.
(2)
The bottom of all openings shall be no higher than one-foot above grade.
(3)
Openings may be equipped with screens, louvers, valves or other coverings or devices, provided that they permit the automatic entry and exit of floodwaters.
D.
Manufactured and mobile homes.
(1)
Manufactured and mobile homes to be placed within Zone A (on a community's FHBM or FIRM) shall be installed using methods and practices which minimize flood damage. For the purposes of this requirement, manufactured homes must be elevated and anchored to resist flotation, collapse, or lateral movement. Methods of anchoring may include, but are not limited to, use of over-the-top or frame ties to ground anchors. This requirement is in addition to applicable state and local anchoring requirements for resisting wind forces.
(2)
Manufactured and mobile homes to be placed or substantially improved within Zones A1-30, AH and AE (on the community's FIRM) on-sites, either:
a.
Outside of a manufactured or mobile home park or subdivision;
b.
In manufactured home or mobile park or subdivision completed on or after the effective date of floodplain management regulations;
c.
In an expansion to an existing manufactured or mobile home park or subdivision;
d.
In an existing manufactured and mobile home park or subdivision on which a manufactured or mobile home has incurred "substantial damage" as a result of a flood; or
e.
Be elevated on a permanent foundation so that the lowest floor of the manufactured home, including all mechanical equipment, elevated to one foot or more above the base flood elevation and be securely anchored to an adequately anchored foundation system to resist flotation, collapse, and lateral movement.
(3)
Manufactured and mobile homes placed or substantially improved on-sites in an existing manufactured or mobile home parks or subdivisions within Zones A1-30, AH and AE (on the community's FIRM) that are not subject to the provisions of this subsection 5.6.7D. shall be elevated so that either:
a.
The lowest floor of the manufactured or mobile home is at or above the base flood elevation, or
b.
The manufactured or mobile home chassis is supported by reinforced piers or other foundation elements of at least equivalent strength that are no less than three feet in height above grade and be securely anchored to an adequately anchored foundation system to resist flotation, collapse, and lateral movement.
E.
Recreational vehicles. Recreational vehicles placed on-sites within Zones A1-30, AH and AE (on the community's FIRM) shall either:
(1)
Be on the site for fewer than 180 consecutive days,
(2)
Be fully licensed and ready for highway use, or
(3)
Comply with the permit requirements of section 8.10 and the elevation and anchoring requirements for "manufactured homes" in subsection 5.6.7D. A recreational vehicle is ready for highway use if it is on its wheels or jacking system, is attached to the site only by quick disconnect type utilities and security devices, and has no permanently attached additions.
5.6.8 Standards for subdivision.
A.
All subdivision proposals, including the placement of manufactured home parks and subdivisions, shall be consistent with subsection 5.6.4A., findings of fact; subsection 5.6.4B., methods of reducing flooding; and subsection 5.6.4C., basis for establishing the areas of special flood hazard.
B.
All proposals for the development of subdivisions including the placement of manufactured home parks and subdivisions shall meet development permit requirements of subsection 5.6.4A., findings of fact; subsection 5.6.4B., methods of reducing flooding and Article 11, definitions.
C.
Base flood elevation data shall be generated for subdivision proposals and other proposed development, including the placement of manufactured home parks and subdivisions, which is greater than 50 lots or five acres, whichever is lesser, if not otherwise provided pursuant to subsection 5.6.4C., basis for establishing the areas of special flood hazard, or where the basis has not been established, subsection 7.7.2H.
D.
All subdivision proposals, including the placement of manufactured home parks and subdivisions, shall have adequate drainage provided to reduce exposure to flood hazards.
E.
All subdivision proposals, including the placement of manufactured home parks and subdivisions, shall have public utilities and facilities such as sewer, gas, electrical and water systems located and constructed to minimize or eliminate flood damage.
5.6.9 Standards for areas of shallow flooding (AO/AH Zones). Located within the areas of special flood hazard established in subsection 5.6.4C., basis for establishing the areas of special flood hazard, are areas designated as shallow flooding. These areas have special flood hazards associated with base flood depths of one to three feet where a clearly defined channel does not exist and where the path of flooding is unpredictable and where velocity flow may be evident. Such flooding is characterized by ponding or sheet flow; therefore, the following apply:
A.
All new construction and substantial improvements of residential structures have the lowest floor, including basement, elevated above the highest adjacent grade at least as high as the depth number specified in feet on the community's FIRM (at least two feet if no depth number is specified).
B.
All new construction and substantial improvements of nonresidential structures shall:
C.
Have the lowest floor, including basement, elevated above the highest adjacent grade at least as high as the depth number specified in feet on the community's FIRM (at least two feet if no depth number is specified); or
D.
Together with attendant utility and sanitary facilities, be designed so that below the base flood level the structure is watertight with walls substantially impermeable to the passage of water and with structural components having the capability of resisting hydrostatic and hydrodynamic loads of effects of buoyancy.
E.
A registered professional engineer shall submit a certification of elevation to the floodplain administrator that the standards of this section, as required by subsection 13.2.15A., are satisfied.
F.
Within zone AH or AO, adequate drainage paths shall be required around structures on slopes, to guide floodwaters around and away from proposed structures.
5.6.10 Floodways. Areas of special flood hazard established in subsection 5.6.4C., basis for establishing the areas of special flood hazard, are areas designated as floodways. Since a floodway is an extremely hazardous area due to the velocity of floodwaters which carry debris, potential projectiles, and erosion potential, the following shall apply:
A.
Encroachments are prohibited, including fill, new construction, substantial improvements and other development within the adopted regulatory floodways unless it has been demonstrated through hydrologic and hydraulic analyses performed in accordance with standard engineering practice that the proposed encroachment would not result in any increase in flood levels within the community during the occurrence of the base flood discharge.
B.
If subsection 5.6.10A., above, is satisfied, all new construction and substantial improvements shall comply with all applicable flood hazard reduction sections of this article.
C.
Under the provisions of 44 CFR, Chapter 1, Section 65.12, of the National Flood Insurance Regulations, a community may permit encroachments within the adopted regulatory floodway that would result in an increase in base flood elevations, provided that the community and/or the developer first applies for a conditional FIRM and floodway revision through FEMA and is granted a conditional letter of map revision (CLOMR) by FEMA.
(Ord. No. 2021-1325, 3-9-21; Ord. No. 2022-1335, 1-25-22)
5.7.1 Purpose. This section is intended to supplement the subdivision drainage requirements of section 5.6 and to protect drainageways from alteration in order to uphold their primary function as stormwater facilities. Developments within FEMA-delineated floodplain boundaries shall adhere to the floodplain regulations of section 5.6. For purposes of this section drainageways shall be defined as follows:
A.
Drainageways. Drainageways shall be defined to mean a channel, typically earthen, that conveys stormwater onto, across and/or off a property—Drainageways may or may not start on the subject property.
5.7.2 Drainageways. All development, including fences and walls, proposed on properties containing natural or historic drainageways shall be subject to the following hierarchy of requirements:
A.
Avoid development in a natural or historic drainageway. Restrict development to area (portion of a site) that is not within a natural or historic drainageway where such area exists on a site sufficient to make reasonable economic use of property.
B.
Minimize development in a natural or historic drainageway. Where development is allowed within a natural or historic drainageway, the diversity of permitted uses in a zone district and permitted residential land use densities may be limited or reduced as necessary to minimize potential dangers to structures or persons.
C.
Realignment of drainageway. Realignment of drainageways will be allowed where engineering is provided to insure that the realignment remains. Diversion structures and the realigned channel, pipe or structure will need to be designed by a licensed engineer. If a proposed realignment will change ingress or egress locations on the property then written approval of the adjoining property owners shall be required prior to approval of the realignment. Any and all cost of the realignment on the property or the adjoining property shall be solely the responsibility of the developer.
D.
Prohibit development in a natural or historic drainageway. Development shall only be prohibited in a natural and historic drainageway where one or more of the following conditions is found to exist:
(1)
Site planning and engineering techniques described in section 5.6, floodplains, cannot reasonably mitigate potential hazards to public health, safety and welfare; or
(2)
Alteration will limit or reduce the primary function of natural and historic drainages as storm water facilities; or
(3)
Development will cause persons (other than the developer) or the city to incur expenses required to:
a.
Mitigate hazardous conditions;
b.
Respond to emergencies created by such conditions; or
c.
Rehabilitate improvements and lands.
5.7.3 Supplementary drainage requirements. Where drainage detention improvements, including detention basin(s), have not yet been constructed for a site, all nonresidential and multifamily development with more than 5,000 square feet of impervious surface shall be subject to the following requirements:
A.
Drainage detention basin. A detention basin shall be provided where necessary, to limit post development flows to pre-development flow rates and sediment loading. Such basin(s) shall be capable of handling the calculated difference between historic flows and the anticipated post-development 25-year, 24-hour frequency storms within the entire project boundary in which the proposed structure is to be located. Detention basin design should be calculated using the Rational Formula Method or Modified Rational Formula Method for properties within city limits. Alternate hydrologic methods may be used with prior approvals from the city engineer or their designee. Maintenance of all such drainage improvements shall be the responsibility of the property owner, unless otherwise accepted by the city for ownership and maintenance.
B.
Design. Drainage improvements shall be designed in accordance with the following standards:
(1)
A New Mexico-registered engineer shall design and certify drainage improvements.
(2)
Adequate provision for short- and long-term ownership, maintenance, and operation of the storm water management system shall be required.
(3)
Where water velocities may reasonably be expected to cause erosion problems, satisfactory means shall be provided to prevent such erosion, including concrete head walls and wing walls where conditions require.
(4)
Water supply systems and sanitary sewage systems shall be designed to minimize or eliminate infiltration of floodwaters.
(5)
New construction shall incorporate on-site 'first flush' retention best practices. First Flush on-site retention shall be sized to retain the 90 th percentile rainfall depth (inches) multiplied by the new development impervious area. The 90 th percentile rainfall depth for the City of Farmington is 0.53 inches. The first flush design requirement is in addition to and does not replace the requirement of section 5.7.3.A. All ponds, including retention ponds, shall be dry within 96 hours. Retention pond design submittals shall include geotechnical analysis (percolation tests) to support compliance with the 96-hour rule. Maintenance of all drainage improvements shall comply with section 5.7.3.A.
(6)
Use of rainwater capture and retention to irrigate on-site landscaping is encouraged.
(Ord. No. 2021-1325, 3-9-21; Ord. No. 2022-1335, 1-25-22)
5.8.1 Purpose: The purposes of these sign regulations are: to encourage the effective use of signs as a means of communication in the city; to maintain and enhance the pleasing look of the city; to preserve Farmington as a city that is attractive to businesses; to improve pedestrian and traffic safety; to minimize the possible adverse effects of signs on nearby public and private property; and to otherwise implement relevant provisions of the Farmington Comprehensive Plan.
Signage within the City is encouraged to be designed to complement the existing aesthetic of Farmington and the character of individual areas within the City.
For purposes of this section, a site refers to the entire project as planned and developed together as follows:
• A single apartment complex shall be considered as occupying one site.
• A shopping center, including out-parcels and separate buildings within it (regardless of whether ownership is common or separate) shall be considered as occupying one site.
• A group of office buildings, warehouses or industrial buildings under common ownership or management and approved within one site plan with the city, shall be considered as occupying one site.
• In general, buildings that share parking or access shall be presumed to occupy one site, subject to proof by the owners that the nature of the sharing arrangement is such that it should not be considered determinative for purposes of this UDC.
5.8.1.A Definitions. Definitions specific to the administration, interpretation and enforcement of this section are contained within Article 11 of the UDC.
5.8.2 Authorized signs allowed without a permit. The following signs are exempt from the requirements of this UDC, but remain subject to the building code requirements:
A.
Any public notice or warning required by a valid and applicable federal, state or local law, regulation or ordinance;
B.
Traffic control signs and devices installed by city or state agencies on public or private property or rights-of-way, such as "Stop," "Yield" and similar signs;
C.
Any sign inside a building that is not attached to a window or door;
D.
Signs that are not visible beyond the boundaries of the lot or parcel on which they are located or from any public rights-of-way;
E.
Any sign inside an athletic field or other enclosed outdoor space, where the sign is not legible from ground level and not visible from public right-of-way beyond the lot line of the site on which it is located;
F.
Holiday decorations displayed between November 15 and January 15;
G.
Flags used as political or religious symbols;
H.
Flags used solely for decoration and not containing any copy or logo;
I.
Window signs;
J.
Balloons and/or other gas-filled objects located in any zoning district; which balloon and/or gas filled object shall not exceed 20 feet in height from the ground and shall not contain or display any logo but shall be used solely for decorative purposes;
K.
Temporary signs on private property.
5.8.3 Prohibited signs. All signs not expressly permitted under this section or exempt from regulation hereunder in accordance with the previous section are prohibited. Such signs include, but are not limited to:
A.
Any sign that copies or imitates an official sign or purports to have official status;
B.
Signs, other than official government signs, located within the public rights-of-way or easements, public parks, or on public properties with the exception of signs permitted by the city manager or designee at a specific location for a specific time period;
C.
Beacons;
D.
Windblown devices;
E.
Flashing signs;
F.
Moving signs;
G.
Any sign on or extending above the roofline, which is illustrated at right;
H.
Any sign attached to an accessory structure, except an incidental sign, if such sign is legible from the public right-of-way or from other property; and
I.
Any other attention-attracting device, except for those conforming to the dimensional, design, lighting, and other standards applicable to a sign in the same location.
J.
Any unofficial sign attached to or affixed in any way to utility poles, light poles, rocks, trees, or other natural features.
K.
Mobile signs, except on licensed food trucks
L.
Graffiti on public property
5.8.4 Permit required. Except as otherwise expressly provided in this section, all persons erecting, hanging, installing, or otherwise placing signs in the city must first obtain a sign permit in accordance with the procedures of section 8.4, Sign Permits. A permit is not required where only the changeable copy is changed, or the sign is cleaned, painted, repainted, or for normal maintenance and repair.
5.8.5 Sign table.
5.8.6 Computation and measurement.
A.
Area computation of individual signs. The area of a sign face (which is also the sign area of a wall sign or other sign with only one face) shall be computed by means of the smallest rectangle that will encompass the extreme limits of the writing, representation, emblem or other display, together with any material or color forming an integral part of the background of the display or used to differentiate the sign from the backdrop or structure against which it is placed, but not including any supporting framework, base, bracing or decorative fence or wall when such fence or wall otherwise meets the regulations of this UDC and is clearly incidental to the display itself. For a single wall, all pieces of information or other graphic representations on that wall shall be measured as though part of one sign, encompassed within one rectangle, which may not exceed the maximum permitted sign area.
B.
Area computation of multi-faced signs. Where the sign faces of a double-faced sign are parallel or the interior angle formed by the faces is 60 degrees or less, only one display face shall be measured in computing sign area. If the two faces of a double-faced sign are of unequal area, the area of the sign shall be the area of the larger face. In all other cases, the areas of all faces of a multi-faced sign shall be added together to compute the area of the sign. Sign area of multi-faced signs is calculated based on the principle that all sign elements that can be seen at one time or from one vantage point should be considered in measuring the size of the sign.
C.
Sign height computation. The height of a sign shall be computed as the distance from the base of the sign at normal grade to the top of the highest attached component of the sign. Normal grade shall be construed to be the lower of: existing grade prior to construction; or newly established grade after construction, exclusive of any filling, berming, mounding or excavating solely for the purpose of locating the sign. In cases where the normal grade cannot reasonably be determined, sign height shall be computed on the assumption that the elevation of the normal grade at the base of the sign is equal to the elevation of the nearest point of the crown of a public street or the grade of the land at the principal entrance to the principal structure on the site, whichever is lower.
D.
Building frontage. Building frontage shall mean the horizontal length of a building (building length) on the side with its principal entrance. If that side is a straight wall, then the building frontage shall be the length of the wall. If the side is not a straight wall, the building frontage shall be the horizontal distance from the corner at one end of the side of the building with the principal entrance to the other corner on the same side of the building; where that side of the building is concave, then the measurement shall be made in a straight line from corner to corner; where the side of the building is convex or has one or more sections that project in front of the front corners, then the measurement shall be made as the shortest distance between two lines projected from the two front corners of the building, with such lines parallel to each other and as close as practicable to perpendicular to the front of the building.
E.
Street frontage. Street frontage shall mean the horizontal length of the street frontage along the subject lot side and shall be measured in accordance with the requirements of subsection 2.8.3B., lot width.
5.8.7 Permitted signs; locations, number and size. Signs shall be permitted in accordance with the table in section 5.8.5, summary of permitted signs. The number in the "Conditions" column for a particular type of sign shall refer to the same-numbered "Condition" on the following pages, which shall apply to that sign in accordance with its terms.
A.
Conditions.
(1)
Principal free-standing signs. Principal freestanding signs shall be permitted, subject to the following:
a.
Allowable area. One square foot in sign area shall be allowed for each linear foot of street frontage up to a maximum of 200 square feet and limited as follows:
(1)
The MF, OP, MU, and LNC districts are limited to a maximum of 50 square feet.
(2)
The CB, GC, PIP and I districts is limited to a maximum of 200 square feet.
b.
Allowable height. The maximum allowable height to the top of the sign is as follows:
c.
Corner setbacks and visibility. All freestanding signs shall comply with safe sight triangle requirements of section 5.3.6, corner setback and intersection visibility.
d.
Single- and double-occupant projects. For single- or multi-occupant projects, there shall be only one freestanding sign, plus an additional freestanding sign for each of the following, provided that no two freestanding signs shall be within 300 feet of each other on the same street frontage:
(1)
Street frontage on a 2nd street, provided that the street frontage on such street is at least 150 feet in length; and
(2)
Street frontage on a 3rd street, provided that the street frontage on such street is at least 150 feet in length; and
(3)
For every 300 feet of street frontage on any one street in excess of 300 feet.
(2)
Wall signs, nonresidential. Nonresidential wall signs shall be permitted in accordance with the following provisions:
a.
The total area of wall signs on a particular wall or a section of wall shall not exceed one square foot of wall sign for each linear foot of length of that wall, which length shall be measured by applying the same principles as are used to measure building frontage, subject to residential restrictions.
b.
The total area of all wall signs on a building shall not exceed one square foot of wall sign for each linear foot of building frontage or the maximum total area per district, whichever is less. The fact that signs may be permitted on more than one wall of the building shall not increase this maximum.
c.
On a multi-tenant building, there may be a separate wall sign for each occupant with an outside entrance serving the general public, but this provision shall not increase the total area of signage permitted on the building.
(3)
Wall signs, residential and institutional.
a.
Single-family residential units (either attached or detached) in zoning districts or portions of planned developments designated for single-family use shall be permitted one wall sign meeting the following criteria:
(1)
The sign shall not exceed two square feet in area;
(2)
The sign shall not be separately illuminated; and
b.
Multifamily residential or institutional uses located in residential zoning districts, including portions of planned developments designated for residential use, shall be permitted one wall sign per public entrance, which wall sign shall be subject to the following:
(1)
No such sign shall exceed six square feet in area;
(2)
Each sign may be illuminated only by direct, external illumination.
(4)
Window signs. Signs may be placed on the interior of window glass.
(5)
Suspended signs. Suspended signs shall be permitted under canopies attached to buildings only to identify entrances to businesses or other users under that canopy. Suspended signs shall be subject to the following specific conditions:
a.
There may be one suspended sign per entrance, and the suspended sign may have copy on both sides;
b.
A suspended sign shall not be separately illuminated.
(6)
Awning signs.
a.
The maximum area an awning sign(s) shall cover is 20 percent of the total awning face area of any face that is visible when viewed from either a frontal or side direction, or the maximum wall sign area for the building frontage, whichever is less.
b.
If the awning is mounted on a multi-tenant building, the awning sign shall comply with the approved master sign program in color, size, material, and letter style.
(7)
Building markers. Building marker signs shall be permitted, subject to the following conditions:
a.
Such signs shall not exceed three square feet in area;
b.
Such signs shall be made of permanent material, such as bronze or masonry, and shall be permanently affixed to or made part of the building;
c.
There shall be only one such sign on any building; and
d.
Such signs shall be affixed to a building wall.
(8)
Programmable signs. Programmable signs shall be permitted, subject to the following conditions:
a.
The image (pictures, as opposed to words) cannot change more frequently than once every three seconds, with the exception of time and temperature, which can change every second.
b.
Signs shall be programmed so that the lighting output temperature falls between 4,000 and 6,000 Kelvin.
c.
If a worded message is longer than the sign's display capability, the set of words on the sign cannot change more frequently than once every second.
d.
Continuous streaming signs are allowed.
e.
Programmable signs shall be limited to the maximum allowable square footage of the underlying zoning district.
f.
Programmable signs shall be oriented to the closest street to prevent light trespass on residential areas.
(9)
Directory signs. Directory signs shall be permitted where a particular site includes more than one tenant or occupant, subject to the following conditions:
a.
In shopping centers. Director or designee signs in shopping centers may be located near entrances to parking areas, but at least 50 feet from any public right-of-way, and at principal intersections within the center, where such intersections are at least 50 feet from any public right-of-way. Such signs shall not exceed 16 square feet in area or 72 inches in height. Such signs may contain logos or business names with arrows or other directional information.
b.
At multifamily projects, office buildings or business parks. One director or designee sign may be located near the principal entrance to a parking area for multifamily projects, office buildings, or business parks. Such sign shall be located away from any public right-of-way, so that drivers can conveniently pull up to and read the director or designee without impeding traffic on any driveway or entrance serving the development. Such sign may contain an unlimited number of pieces of information. Such sign may not exceed 12 square feet in area and five feet in height.
(10)
Fuel price signs. Service stations will be allowed, in addition to one permitted freestanding sign, one fuel price sign per street frontage, the area of which shall not exceed 16 square feet and will not be included in the allowable area of any freestanding sign. This sign shall follow the setback requirements for a freestanding sign and shall not be located within the right-of-way.
(11)
Home business signs. Total square feet of home business signs shall not exceed three square feet per lot. Such signs shall be limited to wall signs or free standing, monument signs. Such signs shall not be internally illuminated. Temporary signs, flashing signs, and electronic reader boards are prohibited.
(12)
Identification signs. Identification signs shall be permitted, subject to the following conditions:
a.
Such signs shall not exceed three square feet in area;
b.
Such signs shall be affixed to a building wall.
(13)
Incidental signs. Incidental signs shall not exceed three square feet in surface area. Incidental freestanding signs shall not exceed three feet in height.
(14)
Marquees. Marquees shall be permitted as additional wall signs only at theaters and entertainment venues and may have changeable copy on each face.
(15)
Off-site signs and billboards. Such signs may be placed along principal arterial streets as shown on the city's major thoroughfare plan, except along the designated Native Heritage Trails Byway (U.S Highway 64, including Murray Drive), which have a minimum right-of-way width of 200 feet, but only:
a.
Having a total area of not more than one square foot for each five lineal feet of highway frontage;
b.
Having a total area of not more than 200 square feet;
c.
Having a height not exceeding 26 feet;
d.
Being at least 750 feet from any other off-site sign and shall include both sides of the street; back-to-back parallel faces shall constitute one sign; and
e.
Being at least 100 feet from any on-site, freestanding sign or residential building; such distance shall be measured as a radius.
(16)
Political signs. Such signs will be subject to the regulations listed in section (19).
a.
All political signs erected pursuant to this paragraph shall be properly maintained in good condition or removed.
b.
A sign which pertains to a specific election or event shall not be erected prior to 60 days before the date of such election or event and must be removed no later than five days after the date of such an election or event.
c.
Notwithstanding the requirements of subparagraph b. above, a candidate that is successful in primary election or a candidate that becomes eligible to be placed on the ballot for the general election after the primary election is concluded, shall be allowed to retain or erect signs during the interim period between the primary and general election.
(17)
Projecting signs. Such signs shall be attached perpendicular to a building or other structure. Only one such sign is permitted per building frontage with an entrance available to the public. Such signs shall not project into any adjacent right-of-way without an encroachment permit. In no case shall such an encroachment be closer than two feet from the back of the curb. The bottom of such signs shall be a minimum of eight feet above the walkway.
(18)
Residential neighborhood (identification signs). Monument signs with the name of the subdivision, mobile or manufactured home park, or multifamily development may be located on one or both sides of each principal entrance into the development, provided that:
a.
Such sign shall not exceed 32 square feet in area.
b.
Such sign shall not exceed 72 inches in height.
c.
In no case shall there be issued more than one temporary sign permit within any 12-month period for the same single-occupancy premises or for the same tenant space in a multiple-occupancy premises;
(19)
Temporary free-standing signs may be:
a.
Attached to a wall of the building on which wall signs are permitted and shall be parallel to that wall; such signs may be made of cloth or canvas and are not subject to the construction and installation requirements otherwise applicable; or
b.
Balloons and/or other gas filled objects located in any zoning district, which balloon and/or gas filled object shall not exceed 20 feet in height and may contain or display a logo; or
c.
Portable, changeable signs.
d.
Temporary signs must be professionally produced. Handmade signs are not permitted.
e.
All temporary signs shall contain the name and contact information, either an email or phone number, of the person who posted the sign.
f.
May be posted on public right-of-way at the following locations with permission of the City Manager or designee:
i.
City right-of-way around the Butler/E. Pinon Hills Blvd
ii.
Northside of intersection of College and E. Pinon Hills Drive
iii.
3041 E Main Street - Farmington Museum
iv.
City right-of-way along Browning Parkway
Additional areas may be designated by the City Manager for specific uses and times.
(19)
Feather, Flag and Pennant signs
a.
Shall not be placed in any visibility triangle for vehicular or pedestrian traffic.
b.
A maximum of one sign per every 20 feet is allowed.
c.
Shall be permanently anchored so as not to become windblown.
d.
Signs shall not exceed ten feet in height.
5.8.8 Murals: Artwork with a non-commercial messages are permitted in the following locations:
A.
In the metropolitan redevelopment area (MRA), murals are allowed on the side and rear walls, with a maximum coverage of 100 percent of the wall. Permits in the MRA shall be reviewed and approved by the MRA commission.
B.
Along principal arterials, as identified in the Farmington Major Thoroughfare Plan, murals are allowed on the side walls only, with a maximum coverage of 60 percent.
C.
Along minor arterial and collector roads as identified in the Farmington Major Thoroughfare Plan, murals are allowed on the side walls only, with a maximum coverage of 40 percent.
D.
Planning division review is required for all murals.
E.
All murals are subject to the approval of the property owner and any related tenant associations.
(Ord. No. 2021-1325, 3-9-21)
5.9.1 Criteria. All land proposed for dedication to the public or as common open space shall substantially meet the following criteria:
A.
It is not encumbered with any substantial structure;
B.
It is not devoted to use as a roadway, parking area (paved or peripheral), or sidewalk;
C.
It is left in its natural or undisturbed state, if such a state is compatible with use of the land described in subsection 5.9.1D., below, or properly planned and landscaped according to approved plans (facilities for the pursuit of passive types of recreation, such as picnic tables and trails, are permissible);
D.
It is capable of being used and enjoyed for purposes of informal and unstructured recreation and relaxation;
E.
It is legally and practically accessible to the residents of the development out of which the required open space is taken or to the public if dedication of the open space is required; and
F.
The open space restrictions and dedication must be permanent and not for a period of years.
5.9.2 Homeowners association. Homeowners associations or similar legal entities that are responsible for the maintenance and control of common open space shall be established as required by section 6.10, mandatory homeowners' associations, and in such a manner that:
A.
Provision for the establishment of the association or similar entity is made before any lot in the development is sold or any building occupied;
B.
The association or similar legal entity has clear legal authority to maintain and exercise control over such common areas and facilities; and
C.
The association or similar legal entity has the power to compel contributions from residents of the development to cover their proportionate shares of the costs associated with the maintenance and upkeep of such common areas and facilities.
5.10.1 Purpose. The residential protection standards of this section are intended to preserve and protect residential uses and neighborhoods by ensuring that new nonresidential and multifamily development and redevelopment are compatible with the character of the adjacent and nearby areas in which they are located by:
A.
Increasing minimum side and rear yard setbacks for nonresidential and multifamily uses in proportion to lot size;
B.
Establishing minimum setbacks for dumpsters and solid waste receptacles;
C.
Limiting building height in proximity to protected uses and districts;
D.
Screening equipment and outdoor storage, parking areas, dumpsters and receptacles; and
E.
Encouraging lighting practices and systems that minimize light pollution and light trespass for the enjoyment and use of property and the night environment.
5.10.2 Applicability.
A.
Residential protection standards shall apply to all multi-family residential and/or nonresidential development when such development occurs:
(1)
Across the street from or adjacent to a lot containing a single-family, attached single-family or duplex dwelling.
B.
For purposes of this section, protected zoning district shall include the following districts:
(1)
Residential estate-2 district;
(2)
Rural agricultural district;
(3)
Residential estate-1 district;
(4)
Residential estate-20 district;
(5)
Single-family-10 district;
(6)
Single-family-7 district;
(7)
Single-family-5 district; and
(8)
Single-family attached district.
C.
The provisions of this section shall apply only to new structures and uses, and to that portion of existing structures and uses being expanded and to change of use.
D.
The provisions of this section shall not apply where nonresidential development occurs adjacent to nonresidential uses in a residential district.
5.10.3 Exemption. The provisions of this section shall not be interpreted as applying to structural alteration of an existing building when such alteration does not involve:
A.
Increase of the gross square footage or height of the building, or
B.
Modification or replacement of outdoor luminaires (fixtures).
(1)
When more than 30 percent of the lighting system visible from a single building elevation, or
(2)
Fifty percent of the total system needs modification or replacement.
5.10.4 Building setbacks—Side and rear. On-sites where the distance between side lot lines or between front and rear lot lines is 60 feet or less, no structure shall be erected within ten feet of the lot line of property that is in a protected zoning district pursuant to subsection 5.10.2B., or that contains a single-family, attached single-family or duplex use. On-sites where the distance between side lot lines or between front and rear lot lines is more than 60 feet, the minimum setback from the lot line of property that is in a protected zoning district pursuant to subsection 5.10.2B., or that contains a single-family, attached single-family or duplex use shall be ten feet, plus four additional feet of setback for each ten additional feet of lot width or fraction thereof (beyond 60 feet). This provision shall not be interpreted as requiring a setback of more than 30 feet, or a setback less than that otherwise required (see section 2.8, density and dimensional standards).
5.10.5 Building heights. No structure shall exceed 28 feet in height within 100 feet of the lot line of property that is in a protected zoning district pursuant to subsection 5.10.2B., or that contains a single-family, attached single-family or duplex use, which is less than 28 feet in height. This provision shall not apply where the protected single-family, attached single-family or duplex use at a significantly higher grade than the proposed structure.
5.10.6 Screening standards.
A.
Nonresidential and multifamily residential development, including off-street parking areas associated with such development, shall be screened from property in a protected zoning district pursuant to subsection 5.10.2B., or that contains a single-family, attached single-family or duplex use. Such visual screening shall be accomplished in accordance with the requirements of section 5.5.7, screening standards.
B.
Dumpsters and solid waste receptacles shall be completely screened from view of adjacent property in a protected zoning district pursuant to subsection 5.10.2B., or that contains a residential use by opaque fence or wall that is at least one-foot taller than the dumpster or solid waste receptacle.
5.10.7 Dumpsters and solid waste receptacles setbacks. Dumpster and solid waste receptacles shall be set back at least 20 feet from the lot line of property in a protected zoning district pursuant to subsection 5.10.2B, or that contains a residential use.
(Ord. No. 2021-1325, 3-9-21)
5.11.1 Purpose. Encourage good lighting practices to protect and promote public health and safety by allowing reasonable uses of exterior lighting while minimizing light pollution and adverse impacts of exterior lighting.
This Section shall apply to all new lighting. Replacement of lights that do not meet the regulations in this section is encouraged to comply to the fullest extent possible with the intent of this code.
An outdoor lighting plan is required to be submitted with the site plan for all multifamily and/or nonresidential development. The plan shall provide sufficient detail to demonstrate compliance with the following standards.
5.11.2 Minimum standards for residential and non-residential lighting.
A.
Fixtures (luminaires). The light source shall be completely concealed within a full cut-off fixture. The emitted light shall not break the horizontal plane of the lighting fixture.
B.
Light source (lamp). Only LED, Halogen incandescent, florescent, metal halide, may be used. The same type must be used for the same or similar types of lighting on any single site, planned unit development or planned developments (PD districts).
C.
Mounting. Fixtures shall be mounted in such a manner that its cone of light is directed down or toward a surface and does not cross any property line of the site. No outdoor lighting shall be directed towards any adjacent residential use or public street.
D.
Maximum fixture height. Maximum fixture height above adjacent grade for all fixtures except those used for sports facility (field, arena or track) lighting, shall be 20 feet; provided, however, the maximum height for fixtures lighting approved signs shall be 24 feet.
E.
Illumination levels. Illumination levels shall be as follows:
(1)
Canopies for gas stations, ATM machines and similar. Gas stations, ATM machines, and similar canopies shall be limited to a maximum of 20 initial lamp lumens per square foot of canopy. All light fixtures mounted on the lower surface of canopies must be fully shielded in-and-of themselves (canopy edges do not qualify as shielding).
(2)
Recreational facilities:
a.
Lighting for fields, courts, or tracks shall not exceed maximum illuminance criteria as defined by the Illuminating Engineering Society of North America (IESNA); and before approval, a registered professional engineer shall certify plans as complying with all relevant lighting standards of this section.
b.
Lighting for nonfield, noncourt and nontrack areas shall conform to all provisions of this section.
(3)
All other uses. Illumination levels per fixture shall not exceed 2,000 initial lumens.
(4)
Decorative exterior lighting, such as string lights, not exceeding 15 watts per bulb are permitted up to a maximum of 500 lumens. Decorative lighting shall be turned off between 11:00 p.m. and 6:00 a.m.
5.11.3 Exemptions: The following types of lighting are not subject to the regulations of this section:
A.
Emergency lighting used only under emergency conditions shall not be subject to this section.
B.
Lighting required by the Federal Aviation Agency or the Federal Communication Commission.
C.
Underwater lighting for pools and decorative water fountains.
D.
Seasonal lighting: between November 15 and January 15 shall not be subject to this Section providing such lighting does not create glare to motorist or result in light trespass onto adjacent properties.
E.
Street lighting within the city and state right-of-way.
F.
Temporary lighting, such as lighting for civic events, construction projects or temporary uses, for no more than a 30 day period or the length of the temporary use permit.
5.11.4 Prohibited lighting and fixtures.
A.
Mercury vapor light bulbs and fixtures.
B.
Lamps emitting a color temperature below 4,000 or above 6,000 Kelvin.
C.
Searchlights for advertising purposes.
D.
Laser source lighting.
5.11.5 Shielding and light trespass requirements.
A.
All light fixtures shall be fully shielded, unless approved by the director of designee.
B.
All light fixtures shall be aimed and shielded so that direct illumination shall be confined to the property boundaries of the source. Lighting shall not be aimed onto adjacent properties, except in cases of shared parking and walkways or for developments composed of multiple parcels.
C.
Uplighting subject to the approval of the director or designee, uplighting or ground-mounted lighting may be allowed to accent unique features of a building and/or surrounding landscaping such as exceptional architectural features, specimen trees with dense year-round foliage, or large native shrub masses. Uplighting or ground-mounted lighting shall be designed and installed to minimize glare with special consideration to vehicular and pedestrian traffic.
i.
All lighting shall be fully shielded to contain and direct the light onto the feature to be illuminated.
ii.
The lighting fixture may be shielded by a roof, wall or other architectural feature that prevents the light from spilling above the roofline of a structure.
D.
Non-shielded accent lighting, such as landscape lighting is permitted and does not count towards the maximum lumens allowable for a project. Landscape lighting shall not exceed 150 watts per fixture and shall shielded.
5.11.6 Total outdoor light output, excluding streetlights used for illumination of public rights-of-way, of any development project shall not exceed 100,000 lumens per net acre, averaged over the entire property.
(Ord. No. 2021-1325, 3-9-21)
5.12.1 Applicability. All uses in any district of the City of Farmington shall have a continuing obligation to conform in operation, location, and construction to the subjective and performance standards herein specified so that the public health, safety, and welfare will be protected.
5.12.2 Exemptions. The following are exempt from the performance standards of this section:
A.
Temporary construction, excavation and grading associated with development for which applicable permits have been issued and with the installation of streets or utilities; and
B.
Demolition activities that are necessary and incidental to permitted development on the same lot, on another of several lots being developed at the same time or in the public right-of-way or easement.
5.12.3 General. The location, size, design, and operating characteristics of all uses shall minimize adverse effects, including visual impacts, on surrounding properties. The conduct of residential and nonresidential uses shall not produce offensive noise, vibration, fumes, smoke, dust or other particulate matter, odorous matter, heat, humidity, glare, electrical interference or other objectionable effects that can be experienced outside of the exterior walls of such uses.
5.12.4 Noise. Noise levels shall be limited in accordance with the requirements of the Farmington Municipal Code, Chapter 12, Article 5, noise.
5.12.5 Smoke and visible emissions.
A.
Opacity limits. No owner or operator of any operation or use in any district shall permit, cause, suffer or allow visible emissions to equal or exceed an opacity of 20 percent; provided, however, stationary combustion equipment which is regulated by state law [Parts 20.2.10 NMAC through 20.2.18 NMAC, and 20.2.42 NMAC, and any other part of chapter] is exempt from this requirement.
B.
Opacity determinations. Opacity of emissions from equipment that is subject to the requirements of subsection 5.11.5A., above, shall be determined in accordance with the method established by US EPA in 40 CFR, Part 60 Appendix A, Method 9, or any other method receiving prior approval from the New Mexico State Department of Health. The minimum time period for taking opacity readings shall be ten minutes.
C.
Dust and particulate matter. All land uses, including but not limited to open storage and open processing operations, and on-site transportation movements, which are the source of wind or airborne dust or other particulate matter; and processes involving dust or other particulate air contaminant generating equipment such as used in paint spraying, grain handling, sand or gravel processing or storage or sand blasting) shall be so conducted that dust and other particulate matter are not transported across the boundary line of the tract on which the use is located.
5.12.6 Odorous matter.
A.
Odor threshold. No use shall be located or operated in any district that involves the emission of odorous matter from a source of operation where the odorous matter exceeds the odor threshold at the bounding property line or at any point beyond the tract on which such use or operation is located. The odor threshold shall be the concentration of odorous matter in the atmosphere necessary to be perceptible to the olfactory nerve of a normal person.
B.
Measurement. The odor threshold as herein set forth shall be determined by observation by a person or persons. In any case, where uncertainty may arise or where the operator or owner of an odor emitting use may disagree with the enforcing officer or where specific measurement of odor concentration is required, the method and procedures as specified by American Society for Testing Materials, A.S.T.M.D. 1391 57, entitled "Standard Method for Measurement of Odor in Atmospheres" shall be used and a copy of A.S.T.M.D. 1391 57 is hereby incorporated by reference.
C.
Exception to odorous matter. The provisions of this subsection shall not normally be applied to restaurants and the emission of odorous matter normally associate with food preparation directly associated with restaurants.
5.12.7 Fire and explosive hazard material.
A.
Explosives. No use involving the manufacture or storage of compounds or products that decompose by detonation shall be permitted in any district except that chlorates, nitrates, perchlorates, phosphorus and similar substances and compounds in small quantities for use by industry, school laboratories, druggists, or wholesalers may be permitted when approved by the fire marshal as not presenting a fire or explosion hazard.
B.
Flammables. The storage and use of all flammable liquids and materials such as pyroxylin plastics, nitrocellulose film, solvents, and petroleum products shall be permitted only when such storage or use conforms to the standards and regulations of the City of Farmington.
5.12.8 Toxic and noxious matter. No operation or use in any district shall emit a concentration across the bounding property line of the tract on which such operation or use is located of toxic or noxious matter that will exceed ten percent of the concentration (exposure) considered as the threshold limit for an industrial worker as such standards are established by the New Mexico State Department of Health.
5.12.9 Vibration. No operation or use in any district shall at any time create earth-borne vibration that, when measured at the bounding property line of the source of operation, exceed the limit of displacement set forth in the following table in the frequency ranges specified.
5.12.10 Open storage. No open storage of materials or commodities shall be permitted in any district except as specifically allowed by this UDC. No open storage operation shall be located in front of a main building. No wrecking, junk, or salvage yard shall be permitted as a storage use in any district.
5.12.11 Glare. No use or operation in any district shall be located or conducted so as to produce intense glare or direct illumination across the bounding property line from a visible source of illumination nor shall any such light be of such intensity as to create a nuisance or detract from the use and enjoyment of adjacent property.
(Ord. No. 2021-1325, 3-9-21)
Streets shall be designed to the following standards:
The director may approve deviations from the above standards where warranted.
*These classifications may be able to exchange a multi-use trail for the bike lane requirement.
(Ord. No. 2021-1325, 3-9-21)
5.14.1 Purpose. The purpose of this section is to establish building design standards that foster high-quality and attractive development that is compatible with the City of Farmington Comprehensive Plan. The standards are further intended to ensure compatibility between residential neighborhoods and adjacent nonresidential uses.
5.14.2 Applicability. This section is applicable to all new construction of multi-family and nonresidential buildings in the local neighborhood commercial, office professional, and mixed use districts.
5.14.3 Building design standards. Building facades visible from the public right-of-way shall comply with the standards of this section.
A.
Building materials. The use of ribbed, standing seam, or corrugated metal siding shall not compose more than 40 percent of a building facade. Metal buildings shall be finished with a powder coating designed to withstand natural elements for a minimum of 20 years. Building facades consisting of corrugated metal shall include a minimum of two colors.
B.
Rooflines. Roof design shall provide for screening of flat roofs, mechanical equipment and other systems that need to be mounted on the roof.
(Ord. No. 2024-1370, 12-10-24)