Zoneomics Logo
search icon

Holly Township City Zoning Code

ARTICLE XIII

ILLUSTRATIONS

Sec. 32-501.- Basement and story.

Basement and Story

Basement and Story

(Ord. No. 50, app. A-1, 11-17-1992)

Sec. 32-502. - Building height.

Building Height

Building Height

(Ord. No. 50, app. A-2, 11-17-1992)

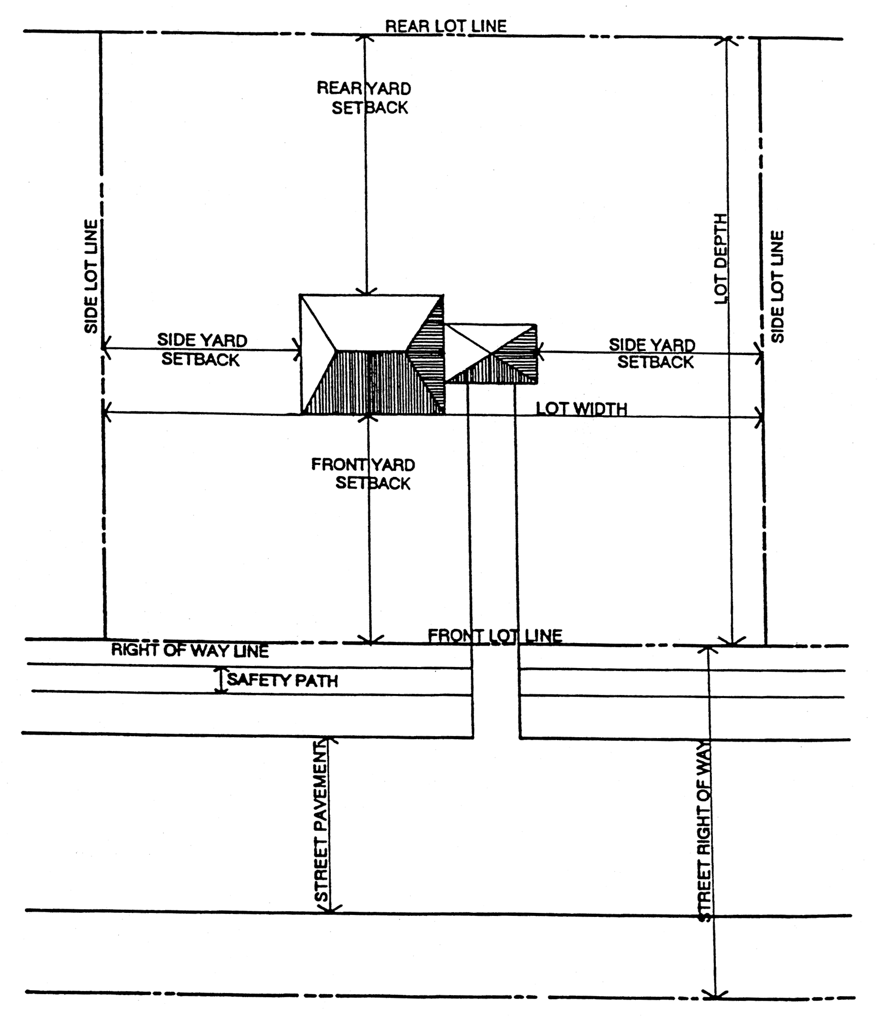
Sec. 32-503. - General lot terms.

General Lot Terms

General Lot Terms

(Ord. No. 50, app. A-3, 11-17-1992)

Sec. 32-504. - Building line.

Building Line

Building Line

(Ord. No. 50, app. A-4, 11-17-1992)

Sec. 32-505. - Corner and double frontage lots.

Corner and Double Frontage Lots

Corner and Double Frontage Lots

(Ord. No. 50, app. A-5, 11-17-1992)