TREE PRESERVATION1
Editor's note—Ord. No. 2104, adopted Dec. 6, 2022, renumbered and reorganized Article Eight, §§ 8.19 and 8.20 as Article Ten, §§ 10.01 and 10.02. Historical Notations have been retained.
A.
Purpose and Intent. The purpose of this Article is to promote site planning that furthers the preservation of mature trees and natural areas, to protect trees during construction; to facilitate site design and construction that contribute to the long term viability of existing trees; and to control the removal of trees when necessary. It is the further purpose of this Article to achieve the following broader objectives:
1.
Prohibit the indiscriminate clearing of property.
2.
Achieve the City's Future Land Use Plan goals as set by citizens through the appointed boards and the City Council.
3.
Maintain and enhance property values and a positive image for the attraction of new residents and business enterprises to the City.
4.
Protect healthy quality trees that contribute to noise reduction, air quality, glare reduction, and promote the natural ecological environmental and aesthetic qualities of the City.
5.
Promote site planning that is sensitive to the location of existing trees in an effort to save quality trees evenly distributed across the City to reduce the need to overplant public property.
6.
Provide for a permitting and enforcement procedure.
B.
Tree Removal Permit Required.
1.
The clear-cutting of land as defined in this Code is prohibited and all permits for tree removal shall be subject to this Code (see Section 10.02 - Exhibit B).
2.
No grading or tree removal shall take place on any undeveloped property without obtaining a tree removal permit unless exempted by this Code.
3.
All trees not listed as a protected tree within this Code may be removed with a tree removal permit.
4.
The removal of selected trees from within a densely forested area when done in a professionally accepted manner shall be allowed as a single permit upon approval by the Development Review Committee. Approval will only be granted when it is determined that the selective thinning is being done in a manner that would enhance the environment and likelihood of survival for the remaining trees.
5.
Where protected tree removal is allowed through exemption or by a tree removal permit and the root system is intertwined with protected trees which are intended to be saved, the tree shall be removed by flush cutting with the natural level of the surrounding ground. Where stump removal is also desired, stump grinding shall be allowed, or upon approval of the City, a trench may be cut between the two trees sufficient to cut the roots near the tree to be removed, thereby allowing removal of the remaining stump without destruction of the root system of the saved tree.
C.
Requirements for New Developments. All projects/developments that have not submitted final plat/construction plans, site plan or building permit, whichever is applicable, as of the effective date of this Code shall be subject to the requirements for tree protection and replacement specified herein. Approval of development plans for compliance with this Code may be by the City Council, Planning and Zoning Commission, or City Staff, whichever is applicable by City regulations. Developer must demonstrate that all options have been considered to preserve as many trees as possible in accordance with this Code.
1.
Single-Family Residential Subdivision Developments.
a.
A developer shall submit an aerial photo of the property showing the tree coverage. An overlay of the proposed development showing all improvements including rights-of- way, easements, lot patterns, etc., shall be superimposed on the aerial photo. This document shall be provided with the submittal of a zoning application. If zoning is not applicable for a property, then this document shall be submitted at time of platting. The aerial photo and plan overlay shall be to the scale of a minimum of 1"=100' and must be legible and clear to read. The aerial photo shall also be of recent date taken within two (2) years or less of the submittal date. If the scale is impractical for the project, alternatives may be considered by the Development Review Committee. Aerial photographs may be rejected for submittal if it does not meet the above requirements.
b.
A tree survey and preservation plan for all areas of soil disturbance and construction activity including all work within rights-of-way and easements shall be submitted with the zoning application. If zoning is not applicable for a property, then this document shall be submitted at time of preliminary site plan evaluation or construction plans, whichever is first. (Amended by Ord. No. 1818 on October 18, 2016)
1).
The tree survey and preservation plan shall be approved and signed by a certified arborist and licensed surveyor. (Amended by Ord. No. 1818 on October 18, 2016)
2).
The information submitted on a tree survey and preservation plan shall not be older than two (2) years. (Amended by Ord. No. 1818 on October 18, 2016)
3).
The tree survey and preservation plan will be reviewed in conjunction with grading plans and these plans must be consistent with each other. (Amended by Ord. No. 1818 on October 18, 2016)
c.
The requirement of a tree survey and preservation plan may be appealed to the Planning and Zoning Commission. If sufficient information is provided to review the various provisions of this Code and the Commission determines that a tree survey and preservation plan is not necessary, the Commission may recommend that this requirement may be waived by the City Council. The City Council shall make the final decision on whether a tree survey and preservation plan is necessary for a development. (Amended by Ord. No. 1818 on October 18, 2016)
d.
All trees within street rights-of-way, utility or drainage easements as shown on an approved final plat/construction plans as approved by the City may be removed following the execution of a development agreement and approval of a tree protection plan by the Public Works Department and shall be exempt from the tree protection and replacement requirements specified herein. All other tree removal activity shall be in conjunction with a building permit for individual lots and shall conform to the requirements of this Code.
e.
In cases of severe drainage issues related to the site, the City Staff and/or the developer may request from the Commission to perform lot grading and pad site preparation in conjunction with or following the clearing of rights-of-way and easements but prior to the issuance of building permit(s). In order for the Commission to consider the request for pad site grading in advance of issuance of a building permit, a tree survey as defined in Article Three, an erosion control plan including erosion control seeded mat placement and a tree removal plan shall be submitted. The erosion control mat shall be placed over all graded areas to remain unimproved for more than five (5) calendar days post grading. The tree removal plan shall reflect a minimum finished floor elevation of the slab. The proposed pad site shall not exceed the maximum pad site area as defined in this Code. The Commission makes recommendation to the City Council that they grant permission for trees in other areas such as proposed ponds, amenity center, etc., to be removed at the time of right-of-way clearing, however the tree removal in these areas shall be mitigated in accordance with this Code. City Council may consider granting the request for advance lot grading shall be final. The decision of the City Council is final.
2.
Undeveloped Single-Family Residential Lot Owned by Home Builder/Individual Owner.
a.
A tree survey and protection plan showing all protected trees and all proposed improvements within the lot shall be submitted with a building permit application. (Amended by Ord. No. 1818 on October 18, 2016)
b.
A tree removal permit is required prior to any new construction on an undeveloped lot or additions to existing lots/structures. This permit may be obtained in conjunction with a building permit or as a separate permit. A separate permit must meet all the criteria of this Code and will not be accepted if a building permit is imminent. (Amended by Ord. No. 1818 on October 18, 2016)
c.
All area within the building pad as defined in this Code including driveway and public sidewalk as shown on a site plan approved by the City may be removed and shall be exempt from the tree protection and replacement requirements specified herein. An additional twenty percent (20%) of total remaining quality trees on a lot may be removed without penalty for other construction purposes such as parking, patio, septic tank and lateral lines, swimming pool and deck areas. Any additional tree removal in excess of twenty percent (20%) shall be subject to the tree replacement and mitigation requirements defined herein.
3.
Non-Residential Development.
a.
A developer/applicant shall submit an aerial photo of the property showing the tree coverage at the time of zoning or specific use permit application, whichever occurs first. An overlay of the proposed development showing all improvements including rights-of-way, easements, lot patterns, etc., shall be superimposed on the aerial photo. This document shall be provided with the submittal of a concept plan for zoning, development plan, zoning exhibit. The aerial photo and plan overlay shall be to the scale of a minimum of 1"=50' and must be legible and clear to read. The aerial photo shall also be of recent date taken within two (2) years or less of the submittal date. If the scale is impractical for the project, alternatives may be considered by the Development Review Committee. Aerial photographs may be rejected for submittal if it does not meet the above requirement.
b.
A tree survey and tree preservation plan showing all protected trees and all proposed improvements shall be submitted with a planned development zoning change, Specific Use Permit, site plan, preliminary site evaluation or engineering plans, whichever comes first. (Amended by Ord. No. 1818 on October 18, 2016)
1).
The tree survey and preservation plan shall be approved and signed by a certified arborist and licensed surveyor. (Amended by Ord. No. 1818 on October 18, 2016)
2).
The information submitted on a tree survey and preservation plan shall not be older than two (2) years. (Amended by Ord. No. 1818 on October 18, 2016)
3).
The tree survey and preservation plan will be reviewed in conjunction with grading plans and these plans must be consistent with each other. (Amended by Ord. No. 1818 on October 18, 2016)
c.
A tree removal permit is required fo all non-residential developments and may be obtained in conjunction with a building permit or as a separate permit.
d.
All trees within street rights-of-way, utility or drainage easements, building pads, driveways, and fire lanes as shown on an approved site plan may be removed and shall be exempt from the tree protection and replacement requirements specified herein. An additional twenty percent (20%) of the remaining quality trees may be removed without penalty for parking lots and/or for grading and drainage purposes. Any additional tree removal in excess of twenty percent (20%) shall be subject to the tree replacement and mitigation requirements as defined herein.
D.
Requirements for Developed Homestead. The owner of property of five (5) acres or less that is used for a homestead shall be exempt from the tree protection and replacement requirements specified herein. Developed Homesteads of more than five (5) acres, shall be subject to the requirements of Section 10.01 (E), Agricultural Property. Properties identified on the City Zoning Map or the Future Land Use Map as non-residential shall not be exempt from the requirements of this Code.
E.
Requirements for Agricultural Property. No fee shall be charged to make application for a tree removal permit for the removal of protected trees located on real property having an agricultural tax exemption. However, if within any twelve (12)-month period, tree removal permits for the removal of twenty (20) or more protected trees are issued for the same agricultural property or tract, or any of its portions, the agricultural zoning district classification of such property cannot be changed, nor can an application for approval of a development plan, planned development or zoning amendment relative to such property be made, for a period of sixty (60) months following the most recent twelve (12) month period during which twenty (20) or more protected trees were removed from such agricultural zoned property.
The property owner may request from the Community Development Department to make an on-site inspection of the property to be cleared and provide the City the purpose and reason for the clearing. If the Planning Manager or his/her designee determines the clearing of land to be for a legitimate, agricultural reason, the a tree removal permit may be issued. The decision of the Planning Manager may be appealed to the City Council.
F.
Requirements for Municipal/Public Domain Property, Rights-of-way and Easements.
1.
All construction and maintenance activities within municipal/public domain property, rights-of-way or easements by the City, franchise utility companies, cable providers, telecommunication providers, and cemeteries shall be in accordance with this Code and may be subject to the requirements for tree protection and replacement specified herein if extensive quality trees are removed for the project
2.
A tree removal permit shall not be required and trees may be removed within the public right-of-way and franchise utility easements. However, no construction or maintenance activity shall begin until construction plans showing protected trees to be removed and the limit of construction activity have been approved by the Director of Public Works. Franchise utility companies are exempted from this requirement
3.
A tree removal permit shall be required, and trees may not be removed without a permit, for construction or maintenance activity within private easements for the extraction, collection and transmission of natural gas or other minerals. Franchise utility companies shall be exempted from this requirement.
4.
The parks and Recreation Department shall administer a plan for the care, preservation, pruning, planting, replanting, removal or disposition of trees in municipal/public domain property.
5.
A list of trees acceptable for planting along streets, within parks or other public areas or for replacement and mitigation is attached to this Code. Trees other than those listed as acceptable may be planted only upon approval of the Development Review Committee.
6.
The City shall have the right to plant, prune, and maintain street trees and park trees within the municipal/public domain property as may be necessary to insure public safety or to preserve or enhance the symmetry and beauty of such public properties. The City may remove or cause or order to be removed any tree or part thereof that is in an unsafe condition, or that by reason of its nature is injurious to sewers, electric power lines, gas lines, water lines or other public improvements, or which is affected with any injurious fungus, insect or other pest.
G.
Exceptions. A tree removal permit shall be issued and tree protection and replacement requirements shall not be required under any of the following circumstances. The burden of proof as a qualified exemption is upon the remover of a tree.
1.
Approved Plans: All construction activities for which final construction plans and building permit applications have been submitted prior to the effective date of this Code shall be exempt.
2.
Diseased Trees: The tree is diseased, damaged beyond the point of recovery, or in danger of falling as determined by the Development Review Committee prior to the removal of the tree. The removal of a diseased tree by the City or an individual is required to reduce the chance of spreading the disease to adjacent healthy trees.
3.
Public Safety: The tree endangers the public health, welfare or safety and immediate removal or pruning is required.
4.
Utility Service Interruption: The tree has disrupted a public utility service due to a tornado, storm, flood or other act(s) of God. Removal shall be limited to the portion of the tree reasonably necessary to reestablish and maintain reliable utility service.
5.
Landscape Nursery: All licensed plant or tree nurseries shall be exempt from the requirements of this Code as they pertain to those trees planted and growing on the premises of said licensee that are so planted and growing for the sale or intended sale to the general public in the ordinary course of said licensee's business.
H.
Permit Review and Approval Process.
1.
Authority for Review: An application for a tree removal permit shall be submitted to the Community Development Department for building permit purposed or Public Works Department for infrastructure improvements, grading or drainage purposed, whichever is applicable during the construction process (see Section 10.02 - Exhibit B).
2.
The Development Review Committee shall be responsible for the review and approval of all requests for tree removal permits submitted in accordance with the requirements specified herein.
3.
The Review Committee may defer the approval of a tree removal permit to the Planning and Zoning Commission for any reason. The decision of the Planning and Zoning Commission shall be final.
4.
Any decision made by the Review Committee may be appealed to the Planning and Zoning Commission for recommendation to the City Council. The decisions of the City Council shall be final.
5.
The City shall establish administrative procedures necessary to facilitate the implementation and enforcement of this Code.
6.
A request for a tree removal permit must be submitted and approved prior to the removal of any protected tree in the City unless the tree is exempt under a provision of this Code.
7.
All tree removal permits shall be accompanied by a payment made to the City in the amount specified by City Council.
8.
Either an aerial photo and transparency and/or a tree survey shall be submitted with any tree removal permit as determined by the Development Review Committee and must include the items referenced in this Code and its appendices.
9.
Permits for tree removal issued in connection with a building permit or site plan shall be valid for the period of that building permit's or site plan's validity. Permit(s) for tree removal not issued in connection with a building permit or a site plan shall become void one hundred eighty (180) days after the issue date on the permit. Upon expiration, a new permit shall be required.
10.
The appropriate body as described herein, being either the Development Review Committee, Planning and Zoning Commission, or the City Council shall consider a tree removal permit based on the following criteria:
a.
Whether or not a reasonable accommodation or alternative solution can be made to accomplish the desired activity without the removal of the tree;
b.
The cost of preserving the tree as a factor of the project's cost;
c.
Whether the tree is worthy of preservation given its age and remaining life expectancy, current health, and any other influential factors as determined by the Community Development Department and the Parks Department. In the event there is disagreement between the two departments, a disinterested third party arborist may be retained for a professional opinion;
d.
The effect of the removal on erosion, soil moisture, retention, flow of surface waters, and drainage systems;
e.
The need for buffering of residential areas from the noise, glare, and visual effects of non-residential uses;
f.
Whether the tree interferes with a utility service;
g.
Whether the proposed tree replacement pursuant to the Tree Replacement Requirements hereof adequately mitigates the removal of the tree;
h.
Any other factors deemed to be in the interest of preserving or protecting the health, safety and welfare of the City of Keller and its citizens.
I.
Tree Replacement Requirements.
1.
In the event that it is necessary to remove a protected tree as specified in this Code, the party removing the tree shall be required to replace the protected trees being removed with quality trees as defined herein (see Section 10.02 - Exhibit I). A sufficient number of trees shall be planted to equal or exceed the diameter (measured at eighteen inches (18") above ground level of each tree removed. This mitigative measure is not meant to supplant good site planning. Tree replacement will be considered only after all design alternatives, which could save more existing trees, have been evaluated and reasonably rejected. Said replacement trees shall be a minimum of three-inch (3") diameter (measured at eighteen inches [18"] above ground) and seven feet (7') in height when planted.
2.
At the time of review, the agent responsible for placement, the time of replacement, and the location of the new trees will be determined by the Development Review Committee. The replacement trees shall be located on the same property that trees were removed whenever possible. However, if this is not feasible, they may be placed on a designated property as agreed to by the Planning and Zoning Commission. If the Planning and Zoning Commission approves the planting of replacement trees more than thirty (30) days after the removal of protected trees, the applicant shall provide the Community Development Department with an affidavit that all replacement trees will be planted within six (6) months. A replacement tree that dies within two (2) years of the date it was planted must be replaced by another replacement tree in compliance with this Code.
3.
The applicant may request from the Planning and Zoning Commission for recommendation to the City Council to make a payment into the Tree Reforestation Fund in lieu of planting the replacement trees if planting is not feasible. The funds shall be used only for purchasing and planting trees on public property or acquiring wooded property that shall remain in a naturalistic state in perpetuity. The fee payment amount shall be established in the City's Fee Schedule. The schedule may be periodically updated by the City without changing this Code. (Amended by Ord. No. 1818 on October 18, 2016)
J.
Tree Transplantation. The City may request to enter a property following the approval of a tree removal permit, or development plans for a property to inspect the site for any trees marked for removal that may be transplanted. The City will pay all costs associated with the removal and transplantation of designated trees to public parks, public facilities or public rights-of-way.
K.
Tree Protection. A major purpose of this Code is to protect all protected trees, which are not required to be removed, to allow approved construction to occur. The following procedures are required:
1.
All construction plans shall include the necessary documents as requested by the Development Review Committee to review the tree preservation plan.
2.
The following activities shall be prohibited within the limits of the critical root zone of any protected tree subject to the requirements of this Code.
a.
Material Storage: No materials intended for use in construction or waste materials accumulated due to excavation or demolition shall be placed within the limits of the critical root zone of any protected tree. However, this restriction shall not apply to material storage in areas exempt from the tree protection and replacement requirements (e.g., building pad, driveway, patios, parking lot, etc.)
b.
Equipment Cleaning/Liquid Disposal: No equipment shall be cleaned or other liquids deposited or allowed to flow overland within the limits of the critical root zone of a protected tree. This includes, without limitation, paint, oil, solvents, asphalt, concrete, mortar or similar materials.
c.
Tree Attachments: No signs, wires or other attachments, other than those of a protective nature, shall be attached to any protected tree. Fencing attached to a tree via "U" nails or bent nails when only at points of tangency with the trees are allowed.
d.
Vehicular Traffic: No vehicular and/or construction equipment traffic or parking shall take place within the limits of the critical root zone of any protected tree other than on an existing street pavement. This restriction does not apply to single incident access within the critical root zone for purposes of clearing underbrush, establishing the building pad and associated lot grading, vehicular traffic necessary for routine utility maintenance or emergency restoration of utility service or routine mowing operations.
e.
Grade Changes: No grade changes shall be allowed within the limits of the critical root zone of any protected tree unless adequate construction methods are approved by the Development Review Committee or if grading is as directed by the City's drainage inspector.
f.
Impervious Paving: No paving with asphalt, concrete or other impervious materials in a manner that may reasonably be expected to kill a tree shall be placed within the limits of the critical root zone of a protected tree. If a protected tree die within five (5) years of issuance of a Certificate of Occupancy for non-residential construction or final building inspection for residential construction, due to construction activity or impervious paving around the critical root zone of the tree, the property owner shall submit a mitigation plan and tree replacement in accordance with this Code shall be required.
3.
A protected tree shall be considered to be preserved only if a minimum of seventy-five percent (75%) of the critical root zone is maintained at undisturbed natural grade and no more than twenty-five percent (25%) of the canopy is removed due to building encroachment.
4.
The following procedures shall be followed on all types on construction projects (i.e. residential subdivisions, commercial, multi-family, industrial developments, residential builders and municipal/public).
a.
Tree Flagging or Marking: Trees that are shown on an approved plan by the City for preservation/protection shall be flagged with bright fluorescent orange vinyl tape or ribbon wrapped around the main trunk at a height of four and one-half feet (4.5') or more such that it is very visible to workers operating construction equipment. Trees that are marked for preservation/protection shall have protective fencing in accordance with the requirements of this Code.
b.
Protective Fencing: In those situations where a protected tree is so close to the construction area that construction equipment might infringe on the root system or is within twenty feet (20') of the construction area, a protective fencing shall be required between the outer limits of the critical root zone of the tree and the construction activity area. Four feet (4') high protective fencing shall be supported at a maximum of ten feet (10') intervals by approved methods. At regular intervals, signs shall be required that states in English and in Spanish, "Tree Protection Area. No grading, parking vehicles, or storing equipment permitted. Violators may be fined." All protective fencing shall be in place prior to commencement of any major site work involving heavy equipment for construction of utilities and roadways and shall remain in place until all site work has been completed. This provision does not apply to clearing the right-of-way for the purpose of access to the site for site preparation. (Amended by Ord. No. 1818 on October 18, 2016)
c.
Protective fencing shall not be required for clearing the rights-of-way for the purpose of access to the site. Once the site is accessible by heavy equipment, protective fencing shall be placed in accordance with this Code.
L.
Tree Pruning Restrictions. No protected tree shall be pruned in a manner that significantly disfigures the tree or in a manner that would reasonably lead to the death of the tree.
1.
Allowed Pruning: Protected trees may be strategically pruned to allow construction or demolition of a structure. All pruning shall take place in accordance with approved Arboricultural techniques and the recommendations of Exhibit G. Reasonable pruning of trees also may be performed or contracted to be performed by the owner of the tree when unrelated to construction activity.
2.
Required Pruning: The owners of all large trees (as defined in Section 10.02) adjacent to a public right-of-way shall be required to maintain a minimum clearance of fifteen feet (15') above the traveled pavement or curb of a public street. Said owners shall also remove all dead, diseased or dangerous trees, or broken or decayed limbs that constitute a menace to the safety of the public. The City shall also have the right to prune trees overhanging within public a right-of-way that interfere with the proper spread of light along the street from a street light or interfere with visibility of any traffic control device or sign or as necessary to preserve the public safety.
3.
Tree Topping: It shall be unlawful as a normal practice for any person, firm, or City department to top any street tree, park tree or other tree on public property. Trees severely damaged by storms or other causes, or certain trees under utility wires or other obstructions where other pruning practices are impractical may be exempted from this Code at the determination of the City.
M.
Tree Planting Restrictions.
1.
Overhead Lines: Any required replacement trees shall not be planted within an area such that the mature canopy of the tree will be within ten feet (10') of overhead utility lines.
2.
Underground Utilities: Any required replacement trees or street trees shall not be planted within five feet (5') of underground public utility lines, including water lines, sewer lines, transmission lines or other utilities. No trees may be planted within five feet (5') of a fire hydrant.
3.
Street Corners: No street tree shall be planted closer than twenty-five feet (25') of any street corner, measured from the point of nearest intersecting curbs or curb lines.
N.
Enforcement.
1.
Permit Required: No development or grading activity shall commence until all applicable requirements of this Code are met and a notice to proceed or a tree removal permit has been issued for the site.
2.
Acceptance of Improvements: No acceptance of public improvements shall be authorized until it is determined that all requirements of this Code are met and all fines for violations of this Code have been paid to the City or otherwise disposed of through the Municipal Court. No acceptance of public improvements shall be authorized until all replacement trees have been planted or appropriate payments have been made to the Tree Reforestation Fund.
3.
Certificate of Occupancy: No Certificate of Occupancy for non-residential construction or final building inspection for residential construction shall be issued until it is determined that all requirements of this Code are met and all fines for violations of this Code have been paid to the City or otherwise disposed of through the Municipal Court. No Certificate of Occupancy shall be issued until all replacement trees have been planted or appropriate payments have been made to the Tree Mitigation Fund.
4.
Notwithstanding the above provisions, public improvements may be accepted and Certificate of Occupancy may be issued before all trees have been replaced if an escrow account is established by the City in the amount equal to the prevailing rate for installed trees with a two (2) year guarantee, plus fifteen percent (15%) to cover administrative costs.
O.
Penalty.
1.
Any person, firm, corporation, agent, or employee thereof who violates the provisions of this Code by removing trees without a permit shall be guilty of a misdemeanor and upon conviction hereof shall be fined in an amount not to exceed two hundred and fifty dollars ($250.00) per caliper inch of the tree(s) removed or damaged not to exceed two thousand dollars ($2,000) per incident.
2.
A person firm, corporation, agent, or employee thereof violates any other provisions of this Code shall be guilty of a misdemeanor and upon conviction hereof shall be fined a minimum of five hundred dollars ($500.00) but not to exceed two thousand dollars ($2,000) per incident. The unlawful injury, destruction or removal of each protected tree shall be considered a separate incident and each incident subjects the violator to the maximum penalty set forth herein per tree.
P.
Appendices. It is anticipated that the attached appendices will be changed periodically by the Review Committee in response to changes in the administration of this Code.
(Ord. No. 1891, 6-5-18; Ord. No. 2104, § 1, 12-6-22)
Exhibit A - Quality Trees
Exhibit B - Tree Removal Permit Application
Exhibit C - Construction Plan Requirements
The following shall be required as a part of all construction plans submitted to the City when tree removal or tree protection is required during any phase of site work or construction.
1.
A Tree Preservation Detail Sheet shall include the following at a minimum.
a.
The requirements of Section 10.02 (I), (J), (K), (L), and (M) shall be noted.
b.
A graphics legend to be used throughout the plans for the purposes of showing the following: Trees to be flagged, protective fencing, trees requiring bark protection, boring, areas of cut and fill impacting protected trees.
c.
Graphic tree exhibit showing the features of a tree to include the critical root zone, trunk, canopy, drip line and method of caliper measurement (see Section 10.02 - Exhibits D & E).
d.
Graphic exhibits showing methods of protection to include snow fences, boarded skirts, etc.
e.
Graphic exhibits showing construction methods to include grade changes, boring, trenching, etc.
f.
Graphic exhibits showing appropriate pruning practices (see Section 10.02 - Exhibit G).
2.
All requirements of the Tree Preservation section within this Code shall be shown graphically as needed on the construction plans.
Exhibit D - Tree Exhibit
Critical Root Zone CCRZ): The area of undisturbed natural soil around atree defined by a concentric circle with a radius equal to the distance from the trunk to the outermost portion of the drip line.
Drip Line: A vertical line run through the outermost portion of the canopy of a tree and extending to the ground.
Exhibit E - Measurement Methods
Diameter Measurement: The diameter of the protected tree shall be measured as shown. The diameter of a multi-trunk tree shall be determined by adding the total diameter of the largest trunk to the diameter of each additional trunk.
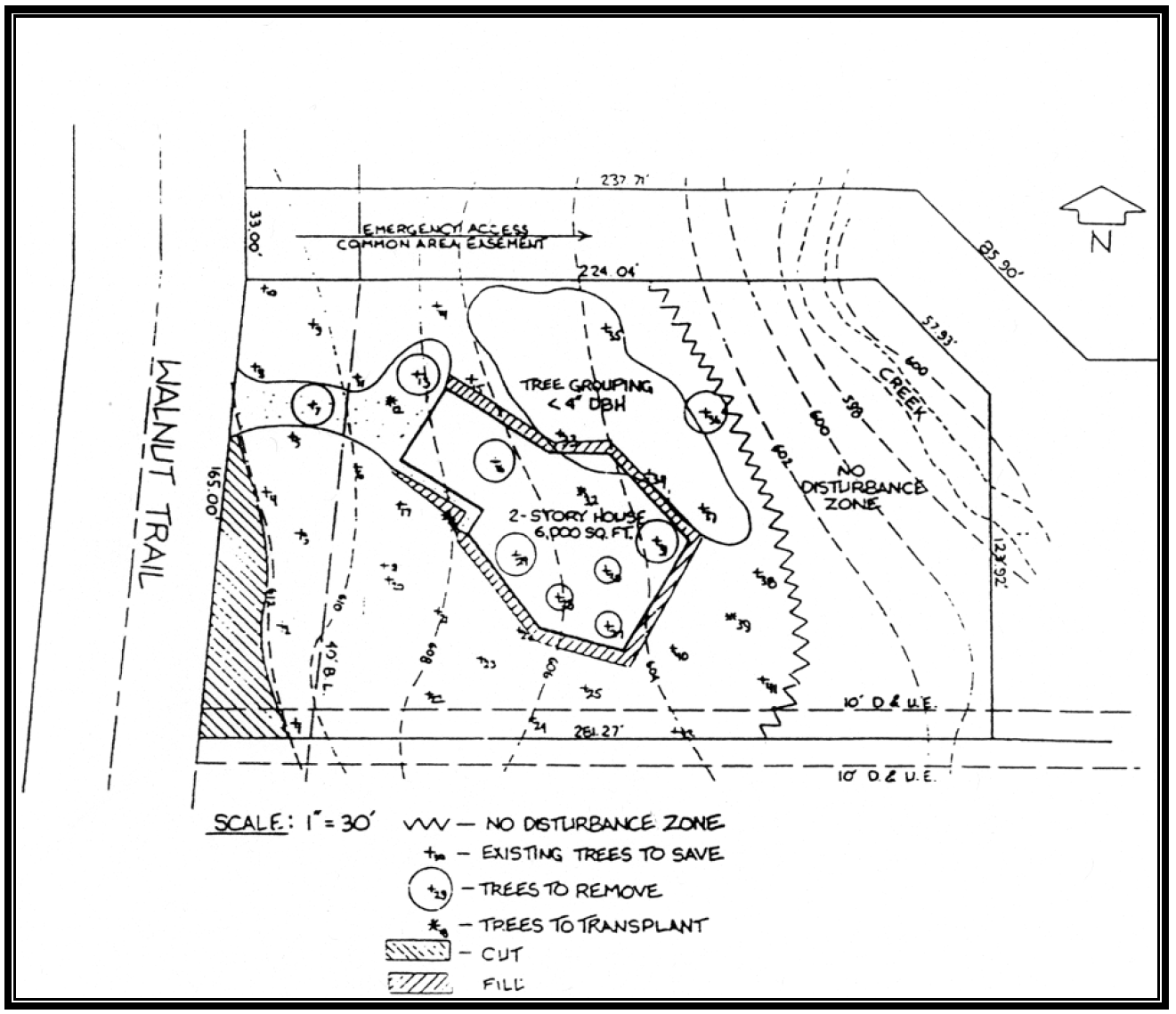
Exhibit F - Example Builder Site Plan
Exhibit G - Tree Pruning Recommendations
TREE PRUNING
Trees must have codominant stems, as shown on the left. If a codominant stem must be removed, cut at an angle outside of the bark ridge as shown in the insert at right. Avoid leaving any stub.
TREE PRUNING
When removing a branch, always cut outside the branch bark ridge and collar. Do not make a flush cut.
CUTTING BRANCHES
When removing heavy limbs, first make an undercut several inches outside of the collar. Then remove limb by a second cut an inch or so outside of the first cut. Remove stub with a third cut just outside of the collar. (Feucht, 1985)
CUTTING BRANCHES
Branches that do not have a distinct collar should be cut at a right angle to the branch outside the branch bark ridge.
Exhibit H - Preferred Survey Nomenclature and legend
Exhibit I - Replacement Tree List
(Ord. No. 2104, § 2, 12-6-22)
TREE PRESERVATION1
Editor's note—Ord. No. 2104, adopted Dec. 6, 2022, renumbered and reorganized Article Eight, §§ 8.19 and 8.20 as Article Ten, §§ 10.01 and 10.02. Historical Notations have been retained.
A.
Purpose and Intent. The purpose of this Article is to promote site planning that furthers the preservation of mature trees and natural areas, to protect trees during construction; to facilitate site design and construction that contribute to the long term viability of existing trees; and to control the removal of trees when necessary. It is the further purpose of this Article to achieve the following broader objectives:
1.
Prohibit the indiscriminate clearing of property.
2.
Achieve the City's Future Land Use Plan goals as set by citizens through the appointed boards and the City Council.
3.
Maintain and enhance property values and a positive image for the attraction of new residents and business enterprises to the City.
4.
Protect healthy quality trees that contribute to noise reduction, air quality, glare reduction, and promote the natural ecological environmental and aesthetic qualities of the City.
5.
Promote site planning that is sensitive to the location of existing trees in an effort to save quality trees evenly distributed across the City to reduce the need to overplant public property.
6.
Provide for a permitting and enforcement procedure.
B.
Tree Removal Permit Required.
1.
The clear-cutting of land as defined in this Code is prohibited and all permits for tree removal shall be subject to this Code (see Section 10.02 - Exhibit B).
2.
No grading or tree removal shall take place on any undeveloped property without obtaining a tree removal permit unless exempted by this Code.
3.
All trees not listed as a protected tree within this Code may be removed with a tree removal permit.
4.
The removal of selected trees from within a densely forested area when done in a professionally accepted manner shall be allowed as a single permit upon approval by the Development Review Committee. Approval will only be granted when it is determined that the selective thinning is being done in a manner that would enhance the environment and likelihood of survival for the remaining trees.
5.
Where protected tree removal is allowed through exemption or by a tree removal permit and the root system is intertwined with protected trees which are intended to be saved, the tree shall be removed by flush cutting with the natural level of the surrounding ground. Where stump removal is also desired, stump grinding shall be allowed, or upon approval of the City, a trench may be cut between the two trees sufficient to cut the roots near the tree to be removed, thereby allowing removal of the remaining stump without destruction of the root system of the saved tree.
C.
Requirements for New Developments. All projects/developments that have not submitted final plat/construction plans, site plan or building permit, whichever is applicable, as of the effective date of this Code shall be subject to the requirements for tree protection and replacement specified herein. Approval of development plans for compliance with this Code may be by the City Council, Planning and Zoning Commission, or City Staff, whichever is applicable by City regulations. Developer must demonstrate that all options have been considered to preserve as many trees as possible in accordance with this Code.
1.
Single-Family Residential Subdivision Developments.
a.
A developer shall submit an aerial photo of the property showing the tree coverage. An overlay of the proposed development showing all improvements including rights-of- way, easements, lot patterns, etc., shall be superimposed on the aerial photo. This document shall be provided with the submittal of a zoning application. If zoning is not applicable for a property, then this document shall be submitted at time of platting. The aerial photo and plan overlay shall be to the scale of a minimum of 1"=100' and must be legible and clear to read. The aerial photo shall also be of recent date taken within two (2) years or less of the submittal date. If the scale is impractical for the project, alternatives may be considered by the Development Review Committee. Aerial photographs may be rejected for submittal if it does not meet the above requirements.
b.
A tree survey and preservation plan for all areas of soil disturbance and construction activity including all work within rights-of-way and easements shall be submitted with the zoning application. If zoning is not applicable for a property, then this document shall be submitted at time of preliminary site plan evaluation or construction plans, whichever is first. (Amended by Ord. No. 1818 on October 18, 2016)
1).
The tree survey and preservation plan shall be approved and signed by a certified arborist and licensed surveyor. (Amended by Ord. No. 1818 on October 18, 2016)
2).
The information submitted on a tree survey and preservation plan shall not be older than two (2) years. (Amended by Ord. No. 1818 on October 18, 2016)
3).
The tree survey and preservation plan will be reviewed in conjunction with grading plans and these plans must be consistent with each other. (Amended by Ord. No. 1818 on October 18, 2016)
c.
The requirement of a tree survey and preservation plan may be appealed to the Planning and Zoning Commission. If sufficient information is provided to review the various provisions of this Code and the Commission determines that a tree survey and preservation plan is not necessary, the Commission may recommend that this requirement may be waived by the City Council. The City Council shall make the final decision on whether a tree survey and preservation plan is necessary for a development. (Amended by Ord. No. 1818 on October 18, 2016)
d.
All trees within street rights-of-way, utility or drainage easements as shown on an approved final plat/construction plans as approved by the City may be removed following the execution of a development agreement and approval of a tree protection plan by the Public Works Department and shall be exempt from the tree protection and replacement requirements specified herein. All other tree removal activity shall be in conjunction with a building permit for individual lots and shall conform to the requirements of this Code.
e.
In cases of severe drainage issues related to the site, the City Staff and/or the developer may request from the Commission to perform lot grading and pad site preparation in conjunction with or following the clearing of rights-of-way and easements but prior to the issuance of building permit(s). In order for the Commission to consider the request for pad site grading in advance of issuance of a building permit, a tree survey as defined in Article Three, an erosion control plan including erosion control seeded mat placement and a tree removal plan shall be submitted. The erosion control mat shall be placed over all graded areas to remain unimproved for more than five (5) calendar days post grading. The tree removal plan shall reflect a minimum finished floor elevation of the slab. The proposed pad site shall not exceed the maximum pad site area as defined in this Code. The Commission makes recommendation to the City Council that they grant permission for trees in other areas such as proposed ponds, amenity center, etc., to be removed at the time of right-of-way clearing, however the tree removal in these areas shall be mitigated in accordance with this Code. City Council may consider granting the request for advance lot grading shall be final. The decision of the City Council is final.
2.
Undeveloped Single-Family Residential Lot Owned by Home Builder/Individual Owner.
a.
A tree survey and protection plan showing all protected trees and all proposed improvements within the lot shall be submitted with a building permit application. (Amended by Ord. No. 1818 on October 18, 2016)
b.
A tree removal permit is required prior to any new construction on an undeveloped lot or additions to existing lots/structures. This permit may be obtained in conjunction with a building permit or as a separate permit. A separate permit must meet all the criteria of this Code and will not be accepted if a building permit is imminent. (Amended by Ord. No. 1818 on October 18, 2016)
c.
All area within the building pad as defined in this Code including driveway and public sidewalk as shown on a site plan approved by the City may be removed and shall be exempt from the tree protection and replacement requirements specified herein. An additional twenty percent (20%) of total remaining quality trees on a lot may be removed without penalty for other construction purposes such as parking, patio, septic tank and lateral lines, swimming pool and deck areas. Any additional tree removal in excess of twenty percent (20%) shall be subject to the tree replacement and mitigation requirements defined herein.
3.
Non-Residential Development.
a.
A developer/applicant shall submit an aerial photo of the property showing the tree coverage at the time of zoning or specific use permit application, whichever occurs first. An overlay of the proposed development showing all improvements including rights-of-way, easements, lot patterns, etc., shall be superimposed on the aerial photo. This document shall be provided with the submittal of a concept plan for zoning, development plan, zoning exhibit. The aerial photo and plan overlay shall be to the scale of a minimum of 1"=50' and must be legible and clear to read. The aerial photo shall also be of recent date taken within two (2) years or less of the submittal date. If the scale is impractical for the project, alternatives may be considered by the Development Review Committee. Aerial photographs may be rejected for submittal if it does not meet the above requirement.
b.
A tree survey and tree preservation plan showing all protected trees and all proposed improvements shall be submitted with a planned development zoning change, Specific Use Permit, site plan, preliminary site evaluation or engineering plans, whichever comes first. (Amended by Ord. No. 1818 on October 18, 2016)
1).
The tree survey and preservation plan shall be approved and signed by a certified arborist and licensed surveyor. (Amended by Ord. No. 1818 on October 18, 2016)
2).
The information submitted on a tree survey and preservation plan shall not be older than two (2) years. (Amended by Ord. No. 1818 on October 18, 2016)
3).
The tree survey and preservation plan will be reviewed in conjunction with grading plans and these plans must be consistent with each other. (Amended by Ord. No. 1818 on October 18, 2016)
c.
A tree removal permit is required fo all non-residential developments and may be obtained in conjunction with a building permit or as a separate permit.
d.
All trees within street rights-of-way, utility or drainage easements, building pads, driveways, and fire lanes as shown on an approved site plan may be removed and shall be exempt from the tree protection and replacement requirements specified herein. An additional twenty percent (20%) of the remaining quality trees may be removed without penalty for parking lots and/or for grading and drainage purposes. Any additional tree removal in excess of twenty percent (20%) shall be subject to the tree replacement and mitigation requirements as defined herein.
D.
Requirements for Developed Homestead. The owner of property of five (5) acres or less that is used for a homestead shall be exempt from the tree protection and replacement requirements specified herein. Developed Homesteads of more than five (5) acres, shall be subject to the requirements of Section 10.01 (E), Agricultural Property. Properties identified on the City Zoning Map or the Future Land Use Map as non-residential shall not be exempt from the requirements of this Code.
E.
Requirements for Agricultural Property. No fee shall be charged to make application for a tree removal permit for the removal of protected trees located on real property having an agricultural tax exemption. However, if within any twelve (12)-month period, tree removal permits for the removal of twenty (20) or more protected trees are issued for the same agricultural property or tract, or any of its portions, the agricultural zoning district classification of such property cannot be changed, nor can an application for approval of a development plan, planned development or zoning amendment relative to such property be made, for a period of sixty (60) months following the most recent twelve (12) month period during which twenty (20) or more protected trees were removed from such agricultural zoned property.
The property owner may request from the Community Development Department to make an on-site inspection of the property to be cleared and provide the City the purpose and reason for the clearing. If the Planning Manager or his/her designee determines the clearing of land to be for a legitimate, agricultural reason, the a tree removal permit may be issued. The decision of the Planning Manager may be appealed to the City Council.
F.
Requirements for Municipal/Public Domain Property, Rights-of-way and Easements.
1.
All construction and maintenance activities within municipal/public domain property, rights-of-way or easements by the City, franchise utility companies, cable providers, telecommunication providers, and cemeteries shall be in accordance with this Code and may be subject to the requirements for tree protection and replacement specified herein if extensive quality trees are removed for the project
2.
A tree removal permit shall not be required and trees may be removed within the public right-of-way and franchise utility easements. However, no construction or maintenance activity shall begin until construction plans showing protected trees to be removed and the limit of construction activity have been approved by the Director of Public Works. Franchise utility companies are exempted from this requirement
3.
A tree removal permit shall be required, and trees may not be removed without a permit, for construction or maintenance activity within private easements for the extraction, collection and transmission of natural gas or other minerals. Franchise utility companies shall be exempted from this requirement.
4.
The parks and Recreation Department shall administer a plan for the care, preservation, pruning, planting, replanting, removal or disposition of trees in municipal/public domain property.
5.
A list of trees acceptable for planting along streets, within parks or other public areas or for replacement and mitigation is attached to this Code. Trees other than those listed as acceptable may be planted only upon approval of the Development Review Committee.
6.
The City shall have the right to plant, prune, and maintain street trees and park trees within the municipal/public domain property as may be necessary to insure public safety or to preserve or enhance the symmetry and beauty of such public properties. The City may remove or cause or order to be removed any tree or part thereof that is in an unsafe condition, or that by reason of its nature is injurious to sewers, electric power lines, gas lines, water lines or other public improvements, or which is affected with any injurious fungus, insect or other pest.
G.
Exceptions. A tree removal permit shall be issued and tree protection and replacement requirements shall not be required under any of the following circumstances. The burden of proof as a qualified exemption is upon the remover of a tree.
1.
Approved Plans: All construction activities for which final construction plans and building permit applications have been submitted prior to the effective date of this Code shall be exempt.
2.
Diseased Trees: The tree is diseased, damaged beyond the point of recovery, or in danger of falling as determined by the Development Review Committee prior to the removal of the tree. The removal of a diseased tree by the City or an individual is required to reduce the chance of spreading the disease to adjacent healthy trees.
3.
Public Safety: The tree endangers the public health, welfare or safety and immediate removal or pruning is required.
4.
Utility Service Interruption: The tree has disrupted a public utility service due to a tornado, storm, flood or other act(s) of God. Removal shall be limited to the portion of the tree reasonably necessary to reestablish and maintain reliable utility service.
5.
Landscape Nursery: All licensed plant or tree nurseries shall be exempt from the requirements of this Code as they pertain to those trees planted and growing on the premises of said licensee that are so planted and growing for the sale or intended sale to the general public in the ordinary course of said licensee's business.
H.
Permit Review and Approval Process.
1.
Authority for Review: An application for a tree removal permit shall be submitted to the Community Development Department for building permit purposed or Public Works Department for infrastructure improvements, grading or drainage purposed, whichever is applicable during the construction process (see Section 10.02 - Exhibit B).
2.
The Development Review Committee shall be responsible for the review and approval of all requests for tree removal permits submitted in accordance with the requirements specified herein.
3.
The Review Committee may defer the approval of a tree removal permit to the Planning and Zoning Commission for any reason. The decision of the Planning and Zoning Commission shall be final.
4.
Any decision made by the Review Committee may be appealed to the Planning and Zoning Commission for recommendation to the City Council. The decisions of the City Council shall be final.
5.
The City shall establish administrative procedures necessary to facilitate the implementation and enforcement of this Code.
6.
A request for a tree removal permit must be submitted and approved prior to the removal of any protected tree in the City unless the tree is exempt under a provision of this Code.
7.
All tree removal permits shall be accompanied by a payment made to the City in the amount specified by City Council.
8.
Either an aerial photo and transparency and/or a tree survey shall be submitted with any tree removal permit as determined by the Development Review Committee and must include the items referenced in this Code and its appendices.
9.
Permits for tree removal issued in connection with a building permit or site plan shall be valid for the period of that building permit's or site plan's validity. Permit(s) for tree removal not issued in connection with a building permit or a site plan shall become void one hundred eighty (180) days after the issue date on the permit. Upon expiration, a new permit shall be required.
10.
The appropriate body as described herein, being either the Development Review Committee, Planning and Zoning Commission, or the City Council shall consider a tree removal permit based on the following criteria:
a.
Whether or not a reasonable accommodation or alternative solution can be made to accomplish the desired activity without the removal of the tree;
b.
The cost of preserving the tree as a factor of the project's cost;
c.
Whether the tree is worthy of preservation given its age and remaining life expectancy, current health, and any other influential factors as determined by the Community Development Department and the Parks Department. In the event there is disagreement between the two departments, a disinterested third party arborist may be retained for a professional opinion;
d.
The effect of the removal on erosion, soil moisture, retention, flow of surface waters, and drainage systems;
e.
The need for buffering of residential areas from the noise, glare, and visual effects of non-residential uses;
f.
Whether the tree interferes with a utility service;
g.
Whether the proposed tree replacement pursuant to the Tree Replacement Requirements hereof adequately mitigates the removal of the tree;
h.
Any other factors deemed to be in the interest of preserving or protecting the health, safety and welfare of the City of Keller and its citizens.
I.
Tree Replacement Requirements.
1.
In the event that it is necessary to remove a protected tree as specified in this Code, the party removing the tree shall be required to replace the protected trees being removed with quality trees as defined herein (see Section 10.02 - Exhibit I). A sufficient number of trees shall be planted to equal or exceed the diameter (measured at eighteen inches (18") above ground level of each tree removed. This mitigative measure is not meant to supplant good site planning. Tree replacement will be considered only after all design alternatives, which could save more existing trees, have been evaluated and reasonably rejected. Said replacement trees shall be a minimum of three-inch (3") diameter (measured at eighteen inches [18"] above ground) and seven feet (7') in height when planted.
2.
At the time of review, the agent responsible for placement, the time of replacement, and the location of the new trees will be determined by the Development Review Committee. The replacement trees shall be located on the same property that trees were removed whenever possible. However, if this is not feasible, they may be placed on a designated property as agreed to by the Planning and Zoning Commission. If the Planning and Zoning Commission approves the planting of replacement trees more than thirty (30) days after the removal of protected trees, the applicant shall provide the Community Development Department with an affidavit that all replacement trees will be planted within six (6) months. A replacement tree that dies within two (2) years of the date it was planted must be replaced by another replacement tree in compliance with this Code.
3.
The applicant may request from the Planning and Zoning Commission for recommendation to the City Council to make a payment into the Tree Reforestation Fund in lieu of planting the replacement trees if planting is not feasible. The funds shall be used only for purchasing and planting trees on public property or acquiring wooded property that shall remain in a naturalistic state in perpetuity. The fee payment amount shall be established in the City's Fee Schedule. The schedule may be periodically updated by the City without changing this Code. (Amended by Ord. No. 1818 on October 18, 2016)
J.
Tree Transplantation. The City may request to enter a property following the approval of a tree removal permit, or development plans for a property to inspect the site for any trees marked for removal that may be transplanted. The City will pay all costs associated with the removal and transplantation of designated trees to public parks, public facilities or public rights-of-way.
K.
Tree Protection. A major purpose of this Code is to protect all protected trees, which are not required to be removed, to allow approved construction to occur. The following procedures are required:
1.
All construction plans shall include the necessary documents as requested by the Development Review Committee to review the tree preservation plan.
2.
The following activities shall be prohibited within the limits of the critical root zone of any protected tree subject to the requirements of this Code.
a.
Material Storage: No materials intended for use in construction or waste materials accumulated due to excavation or demolition shall be placed within the limits of the critical root zone of any protected tree. However, this restriction shall not apply to material storage in areas exempt from the tree protection and replacement requirements (e.g., building pad, driveway, patios, parking lot, etc.)
b.
Equipment Cleaning/Liquid Disposal: No equipment shall be cleaned or other liquids deposited or allowed to flow overland within the limits of the critical root zone of a protected tree. This includes, without limitation, paint, oil, solvents, asphalt, concrete, mortar or similar materials.
c.
Tree Attachments: No signs, wires or other attachments, other than those of a protective nature, shall be attached to any protected tree. Fencing attached to a tree via "U" nails or bent nails when only at points of tangency with the trees are allowed.
d.
Vehicular Traffic: No vehicular and/or construction equipment traffic or parking shall take place within the limits of the critical root zone of any protected tree other than on an existing street pavement. This restriction does not apply to single incident access within the critical root zone for purposes of clearing underbrush, establishing the building pad and associated lot grading, vehicular traffic necessary for routine utility maintenance or emergency restoration of utility service or routine mowing operations.
e.
Grade Changes: No grade changes shall be allowed within the limits of the critical root zone of any protected tree unless adequate construction methods are approved by the Development Review Committee or if grading is as directed by the City's drainage inspector.
f.
Impervious Paving: No paving with asphalt, concrete or other impervious materials in a manner that may reasonably be expected to kill a tree shall be placed within the limits of the critical root zone of a protected tree. If a protected tree die within five (5) years of issuance of a Certificate of Occupancy for non-residential construction or final building inspection for residential construction, due to construction activity or impervious paving around the critical root zone of the tree, the property owner shall submit a mitigation plan and tree replacement in accordance with this Code shall be required.
3.
A protected tree shall be considered to be preserved only if a minimum of seventy-five percent (75%) of the critical root zone is maintained at undisturbed natural grade and no more than twenty-five percent (25%) of the canopy is removed due to building encroachment.
4.
The following procedures shall be followed on all types on construction projects (i.e. residential subdivisions, commercial, multi-family, industrial developments, residential builders and municipal/public).
a.
Tree Flagging or Marking: Trees that are shown on an approved plan by the City for preservation/protection shall be flagged with bright fluorescent orange vinyl tape or ribbon wrapped around the main trunk at a height of four and one-half feet (4.5') or more such that it is very visible to workers operating construction equipment. Trees that are marked for preservation/protection shall have protective fencing in accordance with the requirements of this Code.
b.
Protective Fencing: In those situations where a protected tree is so close to the construction area that construction equipment might infringe on the root system or is within twenty feet (20') of the construction area, a protective fencing shall be required between the outer limits of the critical root zone of the tree and the construction activity area. Four feet (4') high protective fencing shall be supported at a maximum of ten feet (10') intervals by approved methods. At regular intervals, signs shall be required that states in English and in Spanish, "Tree Protection Area. No grading, parking vehicles, or storing equipment permitted. Violators may be fined." All protective fencing shall be in place prior to commencement of any major site work involving heavy equipment for construction of utilities and roadways and shall remain in place until all site work has been completed. This provision does not apply to clearing the right-of-way for the purpose of access to the site for site preparation. (Amended by Ord. No. 1818 on October 18, 2016)
c.
Protective fencing shall not be required for clearing the rights-of-way for the purpose of access to the site. Once the site is accessible by heavy equipment, protective fencing shall be placed in accordance with this Code.
L.
Tree Pruning Restrictions. No protected tree shall be pruned in a manner that significantly disfigures the tree or in a manner that would reasonably lead to the death of the tree.
1.
Allowed Pruning: Protected trees may be strategically pruned to allow construction or demolition of a structure. All pruning shall take place in accordance with approved Arboricultural techniques and the recommendations of Exhibit G. Reasonable pruning of trees also may be performed or contracted to be performed by the owner of the tree when unrelated to construction activity.
2.
Required Pruning: The owners of all large trees (as defined in Section 10.02) adjacent to a public right-of-way shall be required to maintain a minimum clearance of fifteen feet (15') above the traveled pavement or curb of a public street. Said owners shall also remove all dead, diseased or dangerous trees, or broken or decayed limbs that constitute a menace to the safety of the public. The City shall also have the right to prune trees overhanging within public a right-of-way that interfere with the proper spread of light along the street from a street light or interfere with visibility of any traffic control device or sign or as necessary to preserve the public safety.
3.
Tree Topping: It shall be unlawful as a normal practice for any person, firm, or City department to top any street tree, park tree or other tree on public property. Trees severely damaged by storms or other causes, or certain trees under utility wires or other obstructions where other pruning practices are impractical may be exempted from this Code at the determination of the City.
M.
Tree Planting Restrictions.
1.
Overhead Lines: Any required replacement trees shall not be planted within an area such that the mature canopy of the tree will be within ten feet (10') of overhead utility lines.
2.
Underground Utilities: Any required replacement trees or street trees shall not be planted within five feet (5') of underground public utility lines, including water lines, sewer lines, transmission lines or other utilities. No trees may be planted within five feet (5') of a fire hydrant.
3.
Street Corners: No street tree shall be planted closer than twenty-five feet (25') of any street corner, measured from the point of nearest intersecting curbs or curb lines.
N.
Enforcement.
1.
Permit Required: No development or grading activity shall commence until all applicable requirements of this Code are met and a notice to proceed or a tree removal permit has been issued for the site.
2.
Acceptance of Improvements: No acceptance of public improvements shall be authorized until it is determined that all requirements of this Code are met and all fines for violations of this Code have been paid to the City or otherwise disposed of through the Municipal Court. No acceptance of public improvements shall be authorized until all replacement trees have been planted or appropriate payments have been made to the Tree Reforestation Fund.
3.
Certificate of Occupancy: No Certificate of Occupancy for non-residential construction or final building inspection for residential construction shall be issued until it is determined that all requirements of this Code are met and all fines for violations of this Code have been paid to the City or otherwise disposed of through the Municipal Court. No Certificate of Occupancy shall be issued until all replacement trees have been planted or appropriate payments have been made to the Tree Mitigation Fund.
4.
Notwithstanding the above provisions, public improvements may be accepted and Certificate of Occupancy may be issued before all trees have been replaced if an escrow account is established by the City in the amount equal to the prevailing rate for installed trees with a two (2) year guarantee, plus fifteen percent (15%) to cover administrative costs.
O.
Penalty.
1.
Any person, firm, corporation, agent, or employee thereof who violates the provisions of this Code by removing trees without a permit shall be guilty of a misdemeanor and upon conviction hereof shall be fined in an amount not to exceed two hundred and fifty dollars ($250.00) per caliper inch of the tree(s) removed or damaged not to exceed two thousand dollars ($2,000) per incident.
2.
A person firm, corporation, agent, or employee thereof violates any other provisions of this Code shall be guilty of a misdemeanor and upon conviction hereof shall be fined a minimum of five hundred dollars ($500.00) but not to exceed two thousand dollars ($2,000) per incident. The unlawful injury, destruction or removal of each protected tree shall be considered a separate incident and each incident subjects the violator to the maximum penalty set forth herein per tree.
P.
Appendices. It is anticipated that the attached appendices will be changed periodically by the Review Committee in response to changes in the administration of this Code.
(Ord. No. 1891, 6-5-18; Ord. No. 2104, § 1, 12-6-22)
Exhibit A - Quality Trees
Exhibit B - Tree Removal Permit Application
Exhibit C - Construction Plan Requirements
The following shall be required as a part of all construction plans submitted to the City when tree removal or tree protection is required during any phase of site work or construction.
1.
A Tree Preservation Detail Sheet shall include the following at a minimum.
a.
The requirements of Section 10.02 (I), (J), (K), (L), and (M) shall be noted.
b.
A graphics legend to be used throughout the plans for the purposes of showing the following: Trees to be flagged, protective fencing, trees requiring bark protection, boring, areas of cut and fill impacting protected trees.
c.
Graphic tree exhibit showing the features of a tree to include the critical root zone, trunk, canopy, drip line and method of caliper measurement (see Section 10.02 - Exhibits D & E).
d.
Graphic exhibits showing methods of protection to include snow fences, boarded skirts, etc.
e.
Graphic exhibits showing construction methods to include grade changes, boring, trenching, etc.
f.
Graphic exhibits showing appropriate pruning practices (see Section 10.02 - Exhibit G).
2.
All requirements of the Tree Preservation section within this Code shall be shown graphically as needed on the construction plans.
Exhibit D - Tree Exhibit
Critical Root Zone CCRZ): The area of undisturbed natural soil around atree defined by a concentric circle with a radius equal to the distance from the trunk to the outermost portion of the drip line.
Drip Line: A vertical line run through the outermost portion of the canopy of a tree and extending to the ground.
Exhibit E - Measurement Methods
Diameter Measurement: The diameter of the protected tree shall be measured as shown. The diameter of a multi-trunk tree shall be determined by adding the total diameter of the largest trunk to the diameter of each additional trunk.
Exhibit F - Example Builder Site Plan
Exhibit G - Tree Pruning Recommendations
TREE PRUNING
Trees must have codominant stems, as shown on the left. If a codominant stem must be removed, cut at an angle outside of the bark ridge as shown in the insert at right. Avoid leaving any stub.
TREE PRUNING
When removing a branch, always cut outside the branch bark ridge and collar. Do not make a flush cut.
CUTTING BRANCHES
When removing heavy limbs, first make an undercut several inches outside of the collar. Then remove limb by a second cut an inch or so outside of the first cut. Remove stub with a third cut just outside of the collar. (Feucht, 1985)
CUTTING BRANCHES
Branches that do not have a distinct collar should be cut at a right angle to the branch outside the branch bark ridge.
Exhibit H - Preferred Survey Nomenclature and legend
Exhibit I - Replacement Tree List
(Ord. No. 2104, § 2, 12-6-22)