- DEFINITIONS
The following rules of construction apply to the text of this chapter:
(1)
The particular shall control the general.
(2)
In the case of any difference of meaning or implication between the text of this chapter and any caption or illustration, the text shall control.
(3)
The word "shall" is always mandatory and not discretionary. The word "may" is permissive.
(4)
Words used in the present tense shall include the future; and words used in the singular number shall include the plural, and the plural the singular, unless the context clearly indicates the contrary.
(5)
A building or structure includes any part of it.
(6)
The phrase "used for" includes "arranged for," "designed for," "intended for," "maintained for," or "occupied for."
(7)
The word "person" includes an individual, a corporation, a partnership, an incorporated association or any other similar entity.
(8)
Unless the context clearly indicates the contrary, where a regulation involves two or more items, conditions, provisions or events connected by the conjunction "and," "or," "either... or," the conjunction shall be interpreted as follows:
(a)
"And" indicates that all the connected items, conditions, provisions or events shall apply.
(b)
"Or" indicates that the connected items, conditions, provisions or events may apply singly or in any combination.
(c)
"Either or" indicates that the connected items, conditions, provisions or events shall apply singly, but not in combination.
(9)
Terms not defined in article II shall have the meaning customarily assigned to them.
(10)
"Village" shall refer specifically to the Village of Millington.
[The following words, terms and phrases, when used in this chapter, shall have the meanings ascribed to them in this section, except where the context clearly indicates a different meaning:]
Accessory building or structure: A supplemental building or structure on the same lot as the main building occupied by or devoted exclusively to an accessory use, but not for dwelling, lodging, or sleeping purposes. Where an accessory building is attached to a main building in a substantial manner, such as a wall or roof, the accessory building shall be considered a part of the main building.
Accessory use: A use naturally and normally incidental and subordinate to the main use of the land or building.
Agriculture: The use of land or tilling of the soil, raising of trees or field crops or animal husbandry, as a source of significant income.
Alley: A public way which affords a secondary means of access to abutting property but is not intended for general traffic circulation.
Average: For the purpose of this chapter, the term "average" will be an arithmetic mean.
Basement: That portion of a building which is partly or wholly below grade but so located that the vertical distance from the average grade to the floor is greater than the vertical distance from the average grade to the ceiling. A basement shall not be counted as a story. (See Figure 2-1).
Bedroom: A dwelling room used or intended to be used by human beings for sleeping purposes.
Billboard: A piece of construction upon which a sign or advertisement is displayed for the purpose of informing the general public, but not including bulletin boards used to display official court or public office notices.
Block: The property abutting one side of a street and lying between the two nearest intersecting streets, or between one intersecting street and railroad right-of-way, unsubdivided acreage, river or live stream; or between any of the foregoing and any other barrier to the continuity of development.
Board of appeals: As used in this chapter, this term means the Millington Village Zoning Board of Appeals.
Buffer strip: See greenbelt definition.
Building: Any structure having a roof supported by columns or walls for the shelter or enclosure of persons, animals, or property of any kind.
Building height: The building height is the vertical distance measured from the established grade to the highest point of the roof surface if a flat roof; to the deck of a mansard roof; and to the mean height level between eaves and ridge of gable, hip and gambrel roofs. When the terrain is sloping, the ground level is measured at the average wall line. (See Figure 2-2)
Building inspector: A person or agency hired or contracted with to provide building inspection services in the village.
Building permit: Written authority as issued by building inspector on behalf of the village permitting the construction, moving, alteration or use of a building in conformity with the provisions of the building code.
Commercial vehicles: Any vehicle bearing or required to bear commercial license plates.
Examples include: Truck tractors; semi-trailer (including flat beds, stake beds, roll-off containers, tanker bodies, dump bodies and full or partial box type enclosures); ice cream trucks; milk trucks; bread trucks; fruit trucks; delivery trucks; electrician or electrical business trucks; plumbing business trucks; heating and cooling business trucks; other construction oriented trucks; tow trucks; commercial banking trucks; vehicle repair service trucks; snowplowing trucks; any other vehicle with a commercial license plate having a gross vehicle weight in excess of 10,000 pounds or a total length in excess of 22 feet.
Condominium: A division of property or enclosed airspace under the procedures and requirements of the Condominium Act (PA 59 of 1978).
Condominium, general common elements: Portions of the condominium development owned and maintained by the condominium association, as defined in the Condominium Act (PA 59 of 1978).
Condominium, limited common elements: Portions of the condominium development other than the condominium unit itself reserved for the exclusive use of less than all of the co-owners of the condominium development, as defined in the Condominium Act (PA 59 of 1978).
Condominium, master deed: The condominium document recording the condominium project to which are attached as exhibits and incorporated by reference the bylaws for the project and including those items required in Section 8 of the Condominium Act (PA 59 of 1978).
Condominium, subdivision plan: Drawings and information prepared pursuant to section 66 of the Condominium Act, (PA 59 of 1978).
Condominium unit: That portion of a condominium subdivision designed and intended for occupancy and use by the unit owner consistent with the provisions of the master deed.
Convalescent or nursing home or senior assisted living homes: A home for the care of children or the aged or infirm, or a place of rest for those suffering bodily disorders and who require continuous nursing care and supervision. Said home shall conform and qualify for license under state law.
Detention: The collection and storage of surface water for subsequent gradual discharge.
District: An area or areas within the limits of the village, delineated on the official zoning district map.
Dwelling unit: A building or portion of a building, either site-built or pre-manufactured, that has sleeping, living, cooking and sanitary facilities and can accommodate one family or functional family, either permanently or transiently. In the case of buildings that are occupied in part, the portion occupied shall be considered a dwelling unit, provided it is in conformance with the criteria for dwellings.
Erected: Includes built, constructed, reconstructed, extension, enlargement, moved upon, or any physical operation on the premises intended or required for a building or structure. Excavation, fill, drainage, and general land improvements that are not required for a building or structure, shall not be considered to fall within this definition.
Family: A group of two or more persons related by blood, marriage, or adoption, including foster children, together with not more than one additional person not related by blood, marriage, or adoption living together as a single housekeeping unit in a dwelling unit.
Functional family: A collective number of individuals domiciled together in one dwelling unit whose relationship is of a continuing nontransient domestic character and who are cooking and living as a single nonprofit housekeeping unit. This definition shall not include any society, club, fraternity, sorority association, lodge, coterie, organization, or group of students or other individuals whose domestic relationship is of a transitory or seasonal nature or for an anticipated limited duration of a school term or terms or other similar determinable period.
Fence: Any permanent or temporary means, partition, structure or gate erected as a dividing structure, barrier, or enclosure, and not part of a structure requiring a building permit.
Floor area, usable: Usable floor area, for the purposes of computing parking needs for off-street parking spaces, is net floor area used for or intended to be used for the sale of merchandise or services or for use to serve patrons, clients, or customers. Such floor area which is used or intended to be used principally for the storage of merchandise or for utilities shall be excluded from this computation of "usable floor area." Measurement of floor area shall be the sum of horizontal areas of all of the floors of a building, measured from the interior faces of the exterior walls.
Grade: The ground elevation established for the purpose of regulating the number of stories and the height of buildings. The building grade shall be the level of the ground adjacent to the walls of the building if the finished grade is level. If the ground is not entirely level, the grade shall be determined by averaging the elevation of the ground for each face of the building.
Greenbelt: A strip of land of definite width and location reserved for the planting of shrubs and/or trees to serve as an obscuring screen or buffer area in carrying out the requirements of this chapter.
Ground floor area: The square footage of floor space measured from exterior to exterior wall, but not including enclosed and unenclosed porches, breezeways, garages, attic, basement and cellar area. (See Figure 2-3).
Hazardous substances: Any substances or materials that, by reason of their toxic, caustic, corrosive, abrasive or otherwise injurious properties, may be detrimental to the health of any person handling or otherwise coming into contact with such material or substance.
Height: When referring to a tower or other structure, the distance measured from the finished grade of the parcel to the highest point on the tower or other structure, including the base pad and any antenna. For buildings see "building height".
Highway: A public thoroughfare that has been or is intended to be dedicated for public use and has been accepted or is acceptable into the state or federal highway system.
Loading space: An off-street space on the same lot with a building or group of buildings, for temporary parking for a commercial vehicle while loading or unloading merchandise or materials. Off-street loading space is not to be included as off-street parking space in computation of required off-street parking.
Lot: The parcel of land including condominium units in site condominiums occupied or to be occupied by a use or building and its accessory buildings or structures together with such open spaces, minimum area, and width required by this chapter for the district in which located, but not including any area within any abutting right-of-way or traffic lane. (See Figure 2-4)
Corner lot: A lot located at the intersection of two streets or a lot bounded on two sides by a curving street, any two sides of which form an angle of 135 degrees or less. (See Figure 2-5).
Front lot line: In the case of an interior lot abutting upon one public or private street, the front lot line shall be the line separating such lot from the street right-of-way. In the case of a corner lot, the front lot lines shall be the lines separating said lot from both streets. In case of a row of double frontage lots, one street shall be designated as the front street for all lots in the plat and in the request for a zoning permit.
If there are existing structures in the same block fronting on one or both of the streets, the required front yard setback shall be observed on those streets where such structures presently front. In the case of a lot having frontage upon a lake, river, or stream, the water frontage shall be considered the front lot line. (See Figure 2-6).
Interior lot: A lot other than a corner lot with only one lot line fronting on a street.
Lot coverage: The part or percent of the lot occupied by buildings or structures including accessory buildings or structures.
Lot depth: The horizontal distance between front and rear lot lines, measured along the median between side lot lines.
Lot lines: The property lines bounding the lot.
Lot of record: A parcel of land defined by a legal description and recorded in the office of the Tuscola County Register of Deeds on or before the effective date of this chapter.
Lot width: The horizontal distance between the side lot lines, measured at the two points where the building setback line intersects the side lot line.
Rear lot line: In the case of an interior lot, the lot line being opposite the front lot line. In the case of a lot irregularly shaped at the rear, the rear lot line shall be an imaginary line parallel to the front lot line, not less than ten feet long lying farthest from the front lot line and wholly within the lot. In the case of a corner lot there is no rear lot line.
Side lot line: Any lot line not a front lot line or a rear lot line. A side lot line separating a lot from a street is a side street lot line. A side lot line separating a lot from another lot or lots is an interior side lot line.
Through lot: A lot other than a corner lot having frontage on two more or less parallel streets.
Zoning lot: A contiguous tract of land which at the time of filing for a zoning permit is designated by its owner or developer as a tract to be used, developed, or built upon as a unit, under single ownership.
Manufactured home: A factory-built single-family structure that is manufactured under the authority of 42 U.S.C., Sections 5401 to 5426 (National Manufactured Home Construction and Safety Standards Act 1974), is transportable in more than one section, is built on a permanent chassis and does not have a hitch, axles, or wheels permanently attached to the body frame.
Master plan: The statement of policy by the village planning commission relative to the agreed-upon desirable physical pattern of future community development. It consists of a series of maps, charts, and written material representing in summary form the community's conception of how it should grow in order to bring about the very best community living conditions. It is adopted under the authority of PA 33 of 2008, the Michigan Planning Enabling Act.
Mobile home: A structure, transportable in one or more sections, which is built on a chassis and designed to be used as a dwelling with or without permanent foundation, when connected to the required utilities, and includes the plumbing, heating, air-conditioning, and electrical systems contained in the structure.
Mobile home park: A parcel or tract of land under the control of a person upon which three or more mobile homes are located on a continual, nonrecreational basis and which is offered to the public for that purpose regardless of whether a charge is made therefor, together with any building, structure, enclosure, street, equipment, or facility used or intended for use incident to the occupancy of a mobile home.
Motel or motor court: A series of attached, semi-detached or detached rental units providing overnight lodging for transients, open to the traveling public for compensation.
Motor home: See recreational vehicle definition.
Non-conforming use: A use which lawfully occupied a building or land at the effective date of the ordinance [from which this chapter derives] or amendments thereto that does not conform to the use regulations of the zoning district in which it is located.
Off street parking lot: A facility providing vehicular parking spaces, along with adequate drives and aisles. Adequate maneuvering space shall also be included to allow unrestricted access and egress to at least two vehicles.
Parking space: An area of definite length and width exclusive of drives, aisles, or entrances, giving access thereto, and fully accessible for the storage or parking of permitted vehicles.
Planning commission: The village planning commission established under the authority of Public Act #33 of 2008.
Porch, enclosed: A covered entrance to a building or structure which is totally enclosed, and projects out from the main wall of said building or structure and has a separate roof or an integral roof with the principal building or structure to which it is attached.
Porch, open: A covered entrance to a building or structure which is unenclosed except for columns supporting the porch roof, and projects out from the main wall of said building or structure and has a separate roof or integral roof with principal building or structure to which it is attached.
Principal use: The main use of land or structures, as distinguished from a secondary or accessory use.
Professional office: The office of a professional person such as a doctor, dentist, engineer, architect, attorney, insurance or real estate agent, and the like.
Public sewer systems: A public sewer system shall be defined as a central or community sanitary sewage and collection system of pipes and structures including pipes; conduits; manholes; pumping stations; sewage and waste water treatment works; diversion and regulatory devices; and outfall structures, collectively or singularly, actually used or intended for use by the general public or a segment of it, for the purpose of collecting, conveying, transporting, treating or otherwise handling sanitary sewage or industrial liquid waste of such a nature as to be capable of adversely affecting the public health operated and maintained by the general public.
Public utility: Any person, firm, corporation, municipal department board, or commission fully authorized to furnish and furnishing, under federal, state or municipal regulations, to the public, electricity, gas, steam, communications, telegraph, transportation, water services, or sewage disposal.
Recreational vehicle: Any vehicle regulated under the village recreational vehicle ordinance and designed to be used primarily for recreational purposes to move one or more persons over the ground, air, water, ice or snow, and which is either self-propelled or connects to a vehicle which is self-propelled, including, but not limited to house trailers, recreational trailers, trailer coaches, campers, fifth wheels, pickup campers, motor homes, folding tent trailers, boats and boat trailers, pole-trailers, semi-trailers and tractor trailers provided, however, that any such vehicle or unit which is over 40 feet or more in overall length and connected to water or sewer facilities shall be considered a mobile home and shall be subject to all regulations of all ordinance applicable to a mobile home.
Retention: The permanent on-site restraining of storm water.
Road: A public thoroughfare that has been or is intended to be dedicated for public use and has been accepted or is acceptable into the county transportation system.
Setback, actual: The minimum horizontal distance between the principal building, excluding steps and unenclosed porches and the lot line. In the case of a lot on a cul-de-sac or curvlinear street, the setback is measured from the midpoint of the lot width on the front lot line. (See Figures 2-8 and 2-9)
Setback, required: The minimum front, rear and side setbacks as required by the ordinance. In the case of a lot on a cul-de-sac or curvlinear street, the setback shall be measured from the midpoint of the lot width on the front lot line. (See Figures 2-8 and 2-9)
Sign: An identification, description, illustration or device affixed to, or represented directly or indirectly upon a building, structure or land and which directs attention to a product, place, person, activity, institution, or business.
Off premises sign: Any sign, including billboards, relating to subject matter not conducted on the premises on which the sign is located.
On premises sign: An advertising sign relating in its subject matter to the premises on which it is located, or to products, accommodations, service, or activities on the premises.
Sign definitions:
Banner: A sign made of fabric or any non-rigid material with no enclosing framework.
Billboard signs: Anything beyond the requirements for a freestanding sign shall be considered a billboard sign.
Canopy sign: Any sign attached to or constructed within or on a canopy or on an awning, or other fabric, plastic or structural protective cover over a door, entrance, window, or outdoor service area. (See Figure 2-10) A marquee is not a canopy and a protective roof over gasoline filling station areas shall not be considered a canopy for purposes of this article. Canopy signs shall not extend into a public right-of-way or encroach over abutting property lines and shall maintain an under clearance of eight feet measured from the sidewalk surface.
Community service group sign: A sign which displays the name or logo of an agency, organization, or group whose primary purpose is to promote or provide community or public service including, but not limited to, the Rotary Club, Jaycee's, or Lion's Club.
Construction signs: Any sign identifying the names of the project developers, contractors, engineers, architects and financial institutions, which is located on a site being developed or improved.
Device signs: Permanent signs on vending machines, ATM's, gas station pumps, or other containers indicating only the contents or purpose of such devices, provided that the sign area of each device shall not exceed three square feet and there is no more than one sign per device.
Directional Sign: A sign which gives directions, instructions, or facility information for the movement of vehicles or pedestrians on the lot on which the sign is located, such as parking or exit and entrance signs, but not including a commercial message.
Employment signs: "Help wanted" signs soliciting employees for the place of business where posted, provided that the maximum area for all such signs shall not exceed six (6) square feet.
Electronic/digital signage: Electronic signs include electronic message boards and changeable message centers, multi-media or computer-controlled variable message signs, and similar devices.
Essential services sign: A sign identifying the location of connections required to provide essential services such as electricity, water, gas, sewer, and the like.
Flags: Any fabric, banner, or bunting containing distinctive colors, patterns, or symbols, used as a symbol of a government, political subdivision, or other entity.
Permanent freestanding sign: A sign, the bottom of which is more than 24 inches above the finished grade, and which is supported by a structure, poles, or braces which are less than 50 percent of the width of the sign. (See Figure 2-10).
Garage sale sign: A temporary sign advertising a sale of used or unwanted household goods, personal items, bric-a-brac, etc., typically held in one's garage or yard.
Governmental sign: A sign erected or required to be erected by the Village of Millington, Tuscola County, or the state or federal government.
Human directional signs: Signage wherein a person uses his or her body for advertisement or to direct individuals to a location.
Inflatable sign: Signs that are comprised in part or wholly of a balloon or any other inflated object or character.
Incidental signs: Small signs, emblems, or decals informing the public of goods, facilities, or services available on the premises.
Marquee sign: A business sign affixed to a marquee structure constructed and framed in steel or other durable material extending over the ground, sidewalk, or walkway. (See Figure 2-10). Marquee signs shall not extend into any public right-of-way more than seven feet or one-half the width of the sidewalk. The minimum under clearance of such sign shall be eight feet measured from the sidewalk surface.
Memorial sign: A non-illuminated sign, tablet, or plaque memorializing a person, event, structure, or site.
Monument sign: A sign, the bottom of which is less than 24 inches above the finished grade, and which is supported by a structure having a width of more than 50 percent of the width of the sign. (See Figure 2-10).
Multiple tenant sign: Signs advertising multiple tenants within one building or office complex.
Nameplate sign: A sign indicating the address of a building and the name and profession of the occupant.
New business sign: A temporary sign advertising the opening of a new business.
Obsolete sign: A sign that advertises a product that is no longer made, an event that has already occurred, or a business that has closed.
Off premises sign: Any sign, including billboards, relating to subject matter not conducted on the premises on which the sign is located.
On premises sign: An advertising sign relating in its subject matter to the premises on which it is located, or to products, accommodations, service, or activities on the premises.
Pennant: A long, tapering flag of distinctive form used in signaling, advertising, or for identification.
Political sign: A temporary sign used in connection with local, state or national elections or referendums.
Projecting sign: A sign which is affixed to any building or structure other than a marquee, and any part of which extends beyond the building wall and the horizontal sign surface is not parallel to the building or structure. (See Figure 2-10). Projecting signs shall not project more than five feet from the building, or one-third the sidewalk width, whichever is less.
Real estate sign: A temporary on-premises sign advertising the property or structure's availability for sale or lease.
Residential subdivision sign: A permanent sign marking the entrance to a residential platted subdivision or condominium subdivision.
Road furniture signs: Signs on street furniture, such as benches and trash receptacles, not including commemorative plaques or engravings not larger than one-half square foot.
Roof sign: A sign erected above the roof line of a building.
Search light: A device, usually consisting of a light and reflector, for throwing a beam of light in any direction.
Seasonal promotion/special sales sign: A temporary sign used to advertise a business event occurring within a limited time period such as a sale.
Signs that block fire hydrants: Any signage that blocks access to a fire hydrant.
Signs in the public right-of-way or on village owned property: Any signage located within the public right-of-way or on land owned by the Village of Millington.
Signs that obstruct the view of road signs: Any signage that obstructs the view of a road sign such as a street sign or stop sign.
Snipe sign: Any attached to a utility pole, fence or affixed to a tree except as may otherwise be permitted by this article.
Special event sign: A temporary and portable sign containing public messages concerning non-commercial special events that are of a religious, charitable, social or educational nature.
Streamer: A long, flowing ribbon or the like used for an ornament or advertising.
Unsafe signs:Any sign or sign structure which:
(1)
Is structurally unsafe;
(2)
Constitutes a hazard to safety or health by reason of inadequate maintenance, dilapidation, or abandonment;
(3)
Is capable of causing electric shock to a person who comes in contact with it; or
(4)
Is not kept in good repair, such that it has broken parts, missing letters, or non-operational lights.
Wall sign: A sign painted or attached directly to and parallel to the exterior wall of a building. (See Figure 2-10). A wall sign shall extend no more than 12 inches from the exterior face of a wall to which it is attached, shall not project beyond the wall to which it is attached, and shall not extend above the roof line of the building to which it is attached.
Portable or movable signs: A portable sign is a freestanding sign not installed in a concrete footing, can be, but not necessarily temporarily anchored, or secured to the ground, a building or another sign. If a portable sign is to become part of a permanent freestanding sign the following regulations must be implemented.
Special use permit: Approval by the village planning commission of a use of land in a district that is not antagonistic to other land uses in the district when such use is specified in this chapter for that district upon such approval.
Story: That portion of a building, other than a basement or mezzanine, included between the surface of any floor and the floor next above it, or if there is no floor above it, then the space between the floor and the ceiling next above it. (See Figure 2-11).
(a)
A "mezzanine" floor shall be deemed a full story only when it covers more than 50 percent of the area of the story underneath said mezzanine, or if the vertical distance from the floor next below it to the next above it is 24 feet or more.
(b)
For the purpose of this chapter, a basement or cellar shall be counted as a story only if over 50 percent of its height is above the level from which the height of the building is measured, or if it is used for business purposes.
(c)
An attic shall be deemed a full story when more than 50 percent of the floor area has a ceiling height of at least seven feet, six inches.
Street, highway, road: A public thoroughfare (street, drive, avenue, boulevard) that has been or is intended to be dedicated for public use and has been accepted or is acceptable into the village system.
Structure: A construction or building, the use of which requires permanent location on the ground or attachment to something having permanent location on the ground.
Theater, indoor: Any building used primarily for the presentation of dramatic spectacles, shows, movies, or other entertainment open to the public, with or without charge.
Theater, outdoor: Any other place used for the presentation of dramatic spectacles, shows, movies, or other entertainment open to the public, with or without charge, but not including athletic events.
Use: The lawful purpose for which land or premises, or a building thereon, is designed, arranged, or intended, or for which it is occupied, or maintained, let, or leased, according to this chapter.
Utility building: Any building used to house or service the public utility for the purpose of providing utility services that is owned and controlled by a municipality or a utility company.
Variance: A modification of literal provisions of this chapter which the board of appeals is permitted to grant when strict enforcement of said provisions would cause undue hardship owing to circumstances unique to the individual property in which the variance is sought.
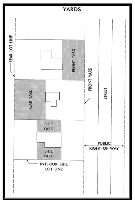
Yard: A space open to the sky between a building and the lot lines of the parcel of land on which the building is located, unoccupied or unobstructed by an encroachment or structure except as otherwise provided by this chapter. (See Figure 2-12).
Front yard: A yard across the full width of the lot extending from the front line of the principal building to the front lot line, or highway right-of-way line as the case may be.
Rear yard: A yard extending across the full width of the lot from the rear line of the building to the rear lot line.
Side yard: A yard extending between the side lot line and the nearest side of the building.
Zoning administrator: The official designated by the Millington Village Council to administer and enforce the provisions of this chapter.
Zoning district: A part, zone, or geographic area within the village within which certain zoning or development regulations apply.
Zoning permit: Written authority as issued by the zoning administrator on behalf of the village permitting the construction, moving, exterior alteration or use of a building in conformity with the provisions of this chapter.
- DEFINITIONS
The following rules of construction apply to the text of this chapter:
(1)
The particular shall control the general.
(2)
In the case of any difference of meaning or implication between the text of this chapter and any caption or illustration, the text shall control.
(3)
The word "shall" is always mandatory and not discretionary. The word "may" is permissive.
(4)
Words used in the present tense shall include the future; and words used in the singular number shall include the plural, and the plural the singular, unless the context clearly indicates the contrary.
(5)
A building or structure includes any part of it.
(6)
The phrase "used for" includes "arranged for," "designed for," "intended for," "maintained for," or "occupied for."
(7)
The word "person" includes an individual, a corporation, a partnership, an incorporated association or any other similar entity.
(8)
Unless the context clearly indicates the contrary, where a regulation involves two or more items, conditions, provisions or events connected by the conjunction "and," "or," "either... or," the conjunction shall be interpreted as follows:
(a)
"And" indicates that all the connected items, conditions, provisions or events shall apply.
(b)
"Or" indicates that the connected items, conditions, provisions or events may apply singly or in any combination.
(c)
"Either or" indicates that the connected items, conditions, provisions or events shall apply singly, but not in combination.
(9)
Terms not defined in article II shall have the meaning customarily assigned to them.
(10)
"Village" shall refer specifically to the Village of Millington.
[The following words, terms and phrases, when used in this chapter, shall have the meanings ascribed to them in this section, except where the context clearly indicates a different meaning:]
Accessory building or structure: A supplemental building or structure on the same lot as the main building occupied by or devoted exclusively to an accessory use, but not for dwelling, lodging, or sleeping purposes. Where an accessory building is attached to a main building in a substantial manner, such as a wall or roof, the accessory building shall be considered a part of the main building.
Accessory use: A use naturally and normally incidental and subordinate to the main use of the land or building.
Agriculture: The use of land or tilling of the soil, raising of trees or field crops or animal husbandry, as a source of significant income.
Alley: A public way which affords a secondary means of access to abutting property but is not intended for general traffic circulation.
Average: For the purpose of this chapter, the term "average" will be an arithmetic mean.
Basement: That portion of a building which is partly or wholly below grade but so located that the vertical distance from the average grade to the floor is greater than the vertical distance from the average grade to the ceiling. A basement shall not be counted as a story. (See Figure 2-1).
Bedroom: A dwelling room used or intended to be used by human beings for sleeping purposes.
Billboard: A piece of construction upon which a sign or advertisement is displayed for the purpose of informing the general public, but not including bulletin boards used to display official court or public office notices.
Block: The property abutting one side of a street and lying between the two nearest intersecting streets, or between one intersecting street and railroad right-of-way, unsubdivided acreage, river or live stream; or between any of the foregoing and any other barrier to the continuity of development.
Board of appeals: As used in this chapter, this term means the Millington Village Zoning Board of Appeals.
Buffer strip: See greenbelt definition.
Building: Any structure having a roof supported by columns or walls for the shelter or enclosure of persons, animals, or property of any kind.
Building height: The building height is the vertical distance measured from the established grade to the highest point of the roof surface if a flat roof; to the deck of a mansard roof; and to the mean height level between eaves and ridge of gable, hip and gambrel roofs. When the terrain is sloping, the ground level is measured at the average wall line. (See Figure 2-2)
Building inspector: A person or agency hired or contracted with to provide building inspection services in the village.
Building permit: Written authority as issued by building inspector on behalf of the village permitting the construction, moving, alteration or use of a building in conformity with the provisions of the building code.
Commercial vehicles: Any vehicle bearing or required to bear commercial license plates.
Examples include: Truck tractors; semi-trailer (including flat beds, stake beds, roll-off containers, tanker bodies, dump bodies and full or partial box type enclosures); ice cream trucks; milk trucks; bread trucks; fruit trucks; delivery trucks; electrician or electrical business trucks; plumbing business trucks; heating and cooling business trucks; other construction oriented trucks; tow trucks; commercial banking trucks; vehicle repair service trucks; snowplowing trucks; any other vehicle with a commercial license plate having a gross vehicle weight in excess of 10,000 pounds or a total length in excess of 22 feet.
Condominium: A division of property or enclosed airspace under the procedures and requirements of the Condominium Act (PA 59 of 1978).
Condominium, general common elements: Portions of the condominium development owned and maintained by the condominium association, as defined in the Condominium Act (PA 59 of 1978).
Condominium, limited common elements: Portions of the condominium development other than the condominium unit itself reserved for the exclusive use of less than all of the co-owners of the condominium development, as defined in the Condominium Act (PA 59 of 1978).
Condominium, master deed: The condominium document recording the condominium project to which are attached as exhibits and incorporated by reference the bylaws for the project and including those items required in Section 8 of the Condominium Act (PA 59 of 1978).
Condominium, subdivision plan: Drawings and information prepared pursuant to section 66 of the Condominium Act, (PA 59 of 1978).
Condominium unit: That portion of a condominium subdivision designed and intended for occupancy and use by the unit owner consistent with the provisions of the master deed.
Convalescent or nursing home or senior assisted living homes: A home for the care of children or the aged or infirm, or a place of rest for those suffering bodily disorders and who require continuous nursing care and supervision. Said home shall conform and qualify for license under state law.
Detention: The collection and storage of surface water for subsequent gradual discharge.
District: An area or areas within the limits of the village, delineated on the official zoning district map.
Dwelling unit: A building or portion of a building, either site-built or pre-manufactured, that has sleeping, living, cooking and sanitary facilities and can accommodate one family or functional family, either permanently or transiently. In the case of buildings that are occupied in part, the portion occupied shall be considered a dwelling unit, provided it is in conformance with the criteria for dwellings.
Erected: Includes built, constructed, reconstructed, extension, enlargement, moved upon, or any physical operation on the premises intended or required for a building or structure. Excavation, fill, drainage, and general land improvements that are not required for a building or structure, shall not be considered to fall within this definition.
Family: A group of two or more persons related by blood, marriage, or adoption, including foster children, together with not more than one additional person not related by blood, marriage, or adoption living together as a single housekeeping unit in a dwelling unit.
Functional family: A collective number of individuals domiciled together in one dwelling unit whose relationship is of a continuing nontransient domestic character and who are cooking and living as a single nonprofit housekeeping unit. This definition shall not include any society, club, fraternity, sorority association, lodge, coterie, organization, or group of students or other individuals whose domestic relationship is of a transitory or seasonal nature or for an anticipated limited duration of a school term or terms or other similar determinable period.
Fence: Any permanent or temporary means, partition, structure or gate erected as a dividing structure, barrier, or enclosure, and not part of a structure requiring a building permit.
Floor area, usable: Usable floor area, for the purposes of computing parking needs for off-street parking spaces, is net floor area used for or intended to be used for the sale of merchandise or services or for use to serve patrons, clients, or customers. Such floor area which is used or intended to be used principally for the storage of merchandise or for utilities shall be excluded from this computation of "usable floor area." Measurement of floor area shall be the sum of horizontal areas of all of the floors of a building, measured from the interior faces of the exterior walls.
Grade: The ground elevation established for the purpose of regulating the number of stories and the height of buildings. The building grade shall be the level of the ground adjacent to the walls of the building if the finished grade is level. If the ground is not entirely level, the grade shall be determined by averaging the elevation of the ground for each face of the building.
Greenbelt: A strip of land of definite width and location reserved for the planting of shrubs and/or trees to serve as an obscuring screen or buffer area in carrying out the requirements of this chapter.
Ground floor area: The square footage of floor space measured from exterior to exterior wall, but not including enclosed and unenclosed porches, breezeways, garages, attic, basement and cellar area. (See Figure 2-3).
Hazardous substances: Any substances or materials that, by reason of their toxic, caustic, corrosive, abrasive or otherwise injurious properties, may be detrimental to the health of any person handling or otherwise coming into contact with such material or substance.
Height: When referring to a tower or other structure, the distance measured from the finished grade of the parcel to the highest point on the tower or other structure, including the base pad and any antenna. For buildings see "building height".
Highway: A public thoroughfare that has been or is intended to be dedicated for public use and has been accepted or is acceptable into the state or federal highway system.
Loading space: An off-street space on the same lot with a building or group of buildings, for temporary parking for a commercial vehicle while loading or unloading merchandise or materials. Off-street loading space is not to be included as off-street parking space in computation of required off-street parking.
Lot: The parcel of land including condominium units in site condominiums occupied or to be occupied by a use or building and its accessory buildings or structures together with such open spaces, minimum area, and width required by this chapter for the district in which located, but not including any area within any abutting right-of-way or traffic lane. (See Figure 2-4)
Corner lot: A lot located at the intersection of two streets or a lot bounded on two sides by a curving street, any two sides of which form an angle of 135 degrees or less. (See Figure 2-5).
Front lot line: In the case of an interior lot abutting upon one public or private street, the front lot line shall be the line separating such lot from the street right-of-way. In the case of a corner lot, the front lot lines shall be the lines separating said lot from both streets. In case of a row of double frontage lots, one street shall be designated as the front street for all lots in the plat and in the request for a zoning permit.
If there are existing structures in the same block fronting on one or both of the streets, the required front yard setback shall be observed on those streets where such structures presently front. In the case of a lot having frontage upon a lake, river, or stream, the water frontage shall be considered the front lot line. (See Figure 2-6).
Interior lot: A lot other than a corner lot with only one lot line fronting on a street.
Lot coverage: The part or percent of the lot occupied by buildings or structures including accessory buildings or structures.
Lot depth: The horizontal distance between front and rear lot lines, measured along the median between side lot lines.
Lot lines: The property lines bounding the lot.
Lot of record: A parcel of land defined by a legal description and recorded in the office of the Tuscola County Register of Deeds on or before the effective date of this chapter.
Lot width: The horizontal distance between the side lot lines, measured at the two points where the building setback line intersects the side lot line.
Rear lot line: In the case of an interior lot, the lot line being opposite the front lot line. In the case of a lot irregularly shaped at the rear, the rear lot line shall be an imaginary line parallel to the front lot line, not less than ten feet long lying farthest from the front lot line and wholly within the lot. In the case of a corner lot there is no rear lot line.
Side lot line: Any lot line not a front lot line or a rear lot line. A side lot line separating a lot from a street is a side street lot line. A side lot line separating a lot from another lot or lots is an interior side lot line.
Through lot: A lot other than a corner lot having frontage on two more or less parallel streets.
Zoning lot: A contiguous tract of land which at the time of filing for a zoning permit is designated by its owner or developer as a tract to be used, developed, or built upon as a unit, under single ownership.
Manufactured home: A factory-built single-family structure that is manufactured under the authority of 42 U.S.C., Sections 5401 to 5426 (National Manufactured Home Construction and Safety Standards Act 1974), is transportable in more than one section, is built on a permanent chassis and does not have a hitch, axles, or wheels permanently attached to the body frame.
Master plan: The statement of policy by the village planning commission relative to the agreed-upon desirable physical pattern of future community development. It consists of a series of maps, charts, and written material representing in summary form the community's conception of how it should grow in order to bring about the very best community living conditions. It is adopted under the authority of PA 33 of 2008, the Michigan Planning Enabling Act.
Mobile home: A structure, transportable in one or more sections, which is built on a chassis and designed to be used as a dwelling with or without permanent foundation, when connected to the required utilities, and includes the plumbing, heating, air-conditioning, and electrical systems contained in the structure.
Mobile home park: A parcel or tract of land under the control of a person upon which three or more mobile homes are located on a continual, nonrecreational basis and which is offered to the public for that purpose regardless of whether a charge is made therefor, together with any building, structure, enclosure, street, equipment, or facility used or intended for use incident to the occupancy of a mobile home.
Motel or motor court: A series of attached, semi-detached or detached rental units providing overnight lodging for transients, open to the traveling public for compensation.
Motor home: See recreational vehicle definition.
Non-conforming use: A use which lawfully occupied a building or land at the effective date of the ordinance [from which this chapter derives] or amendments thereto that does not conform to the use regulations of the zoning district in which it is located.
Off street parking lot: A facility providing vehicular parking spaces, along with adequate drives and aisles. Adequate maneuvering space shall also be included to allow unrestricted access and egress to at least two vehicles.
Parking space: An area of definite length and width exclusive of drives, aisles, or entrances, giving access thereto, and fully accessible for the storage or parking of permitted vehicles.
Planning commission: The village planning commission established under the authority of Public Act #33 of 2008.
Porch, enclosed: A covered entrance to a building or structure which is totally enclosed, and projects out from the main wall of said building or structure and has a separate roof or an integral roof with the principal building or structure to which it is attached.
Porch, open: A covered entrance to a building or structure which is unenclosed except for columns supporting the porch roof, and projects out from the main wall of said building or structure and has a separate roof or integral roof with principal building or structure to which it is attached.
Principal use: The main use of land or structures, as distinguished from a secondary or accessory use.
Professional office: The office of a professional person such as a doctor, dentist, engineer, architect, attorney, insurance or real estate agent, and the like.
Public sewer systems: A public sewer system shall be defined as a central or community sanitary sewage and collection system of pipes and structures including pipes; conduits; manholes; pumping stations; sewage and waste water treatment works; diversion and regulatory devices; and outfall structures, collectively or singularly, actually used or intended for use by the general public or a segment of it, for the purpose of collecting, conveying, transporting, treating or otherwise handling sanitary sewage or industrial liquid waste of such a nature as to be capable of adversely affecting the public health operated and maintained by the general public.
Public utility: Any person, firm, corporation, municipal department board, or commission fully authorized to furnish and furnishing, under federal, state or municipal regulations, to the public, electricity, gas, steam, communications, telegraph, transportation, water services, or sewage disposal.
Recreational vehicle: Any vehicle regulated under the village recreational vehicle ordinance and designed to be used primarily for recreational purposes to move one or more persons over the ground, air, water, ice or snow, and which is either self-propelled or connects to a vehicle which is self-propelled, including, but not limited to house trailers, recreational trailers, trailer coaches, campers, fifth wheels, pickup campers, motor homes, folding tent trailers, boats and boat trailers, pole-trailers, semi-trailers and tractor trailers provided, however, that any such vehicle or unit which is over 40 feet or more in overall length and connected to water or sewer facilities shall be considered a mobile home and shall be subject to all regulations of all ordinance applicable to a mobile home.
Retention: The permanent on-site restraining of storm water.
Road: A public thoroughfare that has been or is intended to be dedicated for public use and has been accepted or is acceptable into the county transportation system.
Setback, actual: The minimum horizontal distance between the principal building, excluding steps and unenclosed porches and the lot line. In the case of a lot on a cul-de-sac or curvlinear street, the setback is measured from the midpoint of the lot width on the front lot line. (See Figures 2-8 and 2-9)
Setback, required: The minimum front, rear and side setbacks as required by the ordinance. In the case of a lot on a cul-de-sac or curvlinear street, the setback shall be measured from the midpoint of the lot width on the front lot line. (See Figures 2-8 and 2-9)
Sign: An identification, description, illustration or device affixed to, or represented directly or indirectly upon a building, structure or land and which directs attention to a product, place, person, activity, institution, or business.
Off premises sign: Any sign, including billboards, relating to subject matter not conducted on the premises on which the sign is located.
On premises sign: An advertising sign relating in its subject matter to the premises on which it is located, or to products, accommodations, service, or activities on the premises.
Sign definitions:
Banner: A sign made of fabric or any non-rigid material with no enclosing framework.
Billboard signs: Anything beyond the requirements for a freestanding sign shall be considered a billboard sign.
Canopy sign: Any sign attached to or constructed within or on a canopy or on an awning, or other fabric, plastic or structural protective cover over a door, entrance, window, or outdoor service area. (See Figure 2-10) A marquee is not a canopy and a protective roof over gasoline filling station areas shall not be considered a canopy for purposes of this article. Canopy signs shall not extend into a public right-of-way or encroach over abutting property lines and shall maintain an under clearance of eight feet measured from the sidewalk surface.
Community service group sign: A sign which displays the name or logo of an agency, organization, or group whose primary purpose is to promote or provide community or public service including, but not limited to, the Rotary Club, Jaycee's, or Lion's Club.
Construction signs: Any sign identifying the names of the project developers, contractors, engineers, architects and financial institutions, which is located on a site being developed or improved.
Device signs: Permanent signs on vending machines, ATM's, gas station pumps, or other containers indicating only the contents or purpose of such devices, provided that the sign area of each device shall not exceed three square feet and there is no more than one sign per device.
Directional Sign: A sign which gives directions, instructions, or facility information for the movement of vehicles or pedestrians on the lot on which the sign is located, such as parking or exit and entrance signs, but not including a commercial message.
Employment signs: "Help wanted" signs soliciting employees for the place of business where posted, provided that the maximum area for all such signs shall not exceed six (6) square feet.
Electronic/digital signage: Electronic signs include electronic message boards and changeable message centers, multi-media or computer-controlled variable message signs, and similar devices.
Essential services sign: A sign identifying the location of connections required to provide essential services such as electricity, water, gas, sewer, and the like.
Flags: Any fabric, banner, or bunting containing distinctive colors, patterns, or symbols, used as a symbol of a government, political subdivision, or other entity.
Permanent freestanding sign: A sign, the bottom of which is more than 24 inches above the finished grade, and which is supported by a structure, poles, or braces which are less than 50 percent of the width of the sign. (See Figure 2-10).
Garage sale sign: A temporary sign advertising a sale of used or unwanted household goods, personal items, bric-a-brac, etc., typically held in one's garage or yard.
Governmental sign: A sign erected or required to be erected by the Village of Millington, Tuscola County, or the state or federal government.
Human directional signs: Signage wherein a person uses his or her body for advertisement or to direct individuals to a location.
Inflatable sign: Signs that are comprised in part or wholly of a balloon or any other inflated object or character.
Incidental signs: Small signs, emblems, or decals informing the public of goods, facilities, or services available on the premises.
Marquee sign: A business sign affixed to a marquee structure constructed and framed in steel or other durable material extending over the ground, sidewalk, or walkway. (See Figure 2-10). Marquee signs shall not extend into any public right-of-way more than seven feet or one-half the width of the sidewalk. The minimum under clearance of such sign shall be eight feet measured from the sidewalk surface.
Memorial sign: A non-illuminated sign, tablet, or plaque memorializing a person, event, structure, or site.
Monument sign: A sign, the bottom of which is less than 24 inches above the finished grade, and which is supported by a structure having a width of more than 50 percent of the width of the sign. (See Figure 2-10).
Multiple tenant sign: Signs advertising multiple tenants within one building or office complex.
Nameplate sign: A sign indicating the address of a building and the name and profession of the occupant.
New business sign: A temporary sign advertising the opening of a new business.
Obsolete sign: A sign that advertises a product that is no longer made, an event that has already occurred, or a business that has closed.
Off premises sign: Any sign, including billboards, relating to subject matter not conducted on the premises on which the sign is located.
On premises sign: An advertising sign relating in its subject matter to the premises on which it is located, or to products, accommodations, service, or activities on the premises.
Pennant: A long, tapering flag of distinctive form used in signaling, advertising, or for identification.
Political sign: A temporary sign used in connection with local, state or national elections or referendums.
Projecting sign: A sign which is affixed to any building or structure other than a marquee, and any part of which extends beyond the building wall and the horizontal sign surface is not parallel to the building or structure. (See Figure 2-10). Projecting signs shall not project more than five feet from the building, or one-third the sidewalk width, whichever is less.
Real estate sign: A temporary on-premises sign advertising the property or structure's availability for sale or lease.
Residential subdivision sign: A permanent sign marking the entrance to a residential platted subdivision or condominium subdivision.
Road furniture signs: Signs on street furniture, such as benches and trash receptacles, not including commemorative plaques or engravings not larger than one-half square foot.
Roof sign: A sign erected above the roof line of a building.
Search light: A device, usually consisting of a light and reflector, for throwing a beam of light in any direction.
Seasonal promotion/special sales sign: A temporary sign used to advertise a business event occurring within a limited time period such as a sale.
Signs that block fire hydrants: Any signage that blocks access to a fire hydrant.
Signs in the public right-of-way or on village owned property: Any signage located within the public right-of-way or on land owned by the Village of Millington.
Signs that obstruct the view of road signs: Any signage that obstructs the view of a road sign such as a street sign or stop sign.
Snipe sign: Any attached to a utility pole, fence or affixed to a tree except as may otherwise be permitted by this article.
Special event sign: A temporary and portable sign containing public messages concerning non-commercial special events that are of a religious, charitable, social or educational nature.
Streamer: A long, flowing ribbon or the like used for an ornament or advertising.
Unsafe signs:Any sign or sign structure which:
(1)
Is structurally unsafe;
(2)
Constitutes a hazard to safety or health by reason of inadequate maintenance, dilapidation, or abandonment;
(3)
Is capable of causing electric shock to a person who comes in contact with it; or
(4)
Is not kept in good repair, such that it has broken parts, missing letters, or non-operational lights.
Wall sign: A sign painted or attached directly to and parallel to the exterior wall of a building. (See Figure 2-10). A wall sign shall extend no more than 12 inches from the exterior face of a wall to which it is attached, shall not project beyond the wall to which it is attached, and shall not extend above the roof line of the building to which it is attached.
Portable or movable signs: A portable sign is a freestanding sign not installed in a concrete footing, can be, but not necessarily temporarily anchored, or secured to the ground, a building or another sign. If a portable sign is to become part of a permanent freestanding sign the following regulations must be implemented.
Special use permit: Approval by the village planning commission of a use of land in a district that is not antagonistic to other land uses in the district when such use is specified in this chapter for that district upon such approval.
Story: That portion of a building, other than a basement or mezzanine, included between the surface of any floor and the floor next above it, or if there is no floor above it, then the space between the floor and the ceiling next above it. (See Figure 2-11).
(a)
A "mezzanine" floor shall be deemed a full story only when it covers more than 50 percent of the area of the story underneath said mezzanine, or if the vertical distance from the floor next below it to the next above it is 24 feet or more.
(b)
For the purpose of this chapter, a basement or cellar shall be counted as a story only if over 50 percent of its height is above the level from which the height of the building is measured, or if it is used for business purposes.
(c)
An attic shall be deemed a full story when more than 50 percent of the floor area has a ceiling height of at least seven feet, six inches.
Street, highway, road: A public thoroughfare (street, drive, avenue, boulevard) that has been or is intended to be dedicated for public use and has been accepted or is acceptable into the village system.
Structure: A construction or building, the use of which requires permanent location on the ground or attachment to something having permanent location on the ground.
Theater, indoor: Any building used primarily for the presentation of dramatic spectacles, shows, movies, or other entertainment open to the public, with or without charge.
Theater, outdoor: Any other place used for the presentation of dramatic spectacles, shows, movies, or other entertainment open to the public, with or without charge, but not including athletic events.
Use: The lawful purpose for which land or premises, or a building thereon, is designed, arranged, or intended, or for which it is occupied, or maintained, let, or leased, according to this chapter.
Utility building: Any building used to house or service the public utility for the purpose of providing utility services that is owned and controlled by a municipality or a utility company.
Variance: A modification of literal provisions of this chapter which the board of appeals is permitted to grant when strict enforcement of said provisions would cause undue hardship owing to circumstances unique to the individual property in which the variance is sought.
Yard: A space open to the sky between a building and the lot lines of the parcel of land on which the building is located, unoccupied or unobstructed by an encroachment or structure except as otherwise provided by this chapter. (See Figure 2-12).
Front yard: A yard across the full width of the lot extending from the front line of the principal building to the front lot line, or highway right-of-way line as the case may be.
Rear yard: A yard extending across the full width of the lot from the rear line of the building to the rear lot line.
Side yard: A yard extending between the side lot line and the nearest side of the building.
Zoning administrator: The official designated by the Millington Village Council to administer and enforce the provisions of this chapter.
Zoning district: A part, zone, or geographic area within the village within which certain zoning or development regulations apply.
Zoning permit: Written authority as issued by the zoning administrator on behalf of the village permitting the construction, moving, exterior alteration or use of a building in conformity with the provisions of this chapter.