ARCHITECTURAL AND URBAN DESIGN Standards
The general intent of the architectural and urban design standards is as follows:
(A)
To produce a high quality living environment for all users.
(B)
To enhance the relationship between new development/redevelopment and public spaces.
(C)
To improve the pedestrian experience along the street level, through active building edges.
(D)
To create publicly accessible open spaces and plazas as key focal points and an organizing feature of the site.
(E)
To maintain an appropriate overall scale and pattern of development within its context.
(F)
To protect significant natural and man-made features such as mature vegetation, street trees, heritage trees and open space areas.
(G)
To provide for adequate density/intensity through an efficient and cost-effective use of land.
(H)
To maintain and enhance the attractiveness of the streetscape and the architecture in the City of Oviedo.
(I)
To require articulation that reduces the mass/scale and uniformity of large building masses, while allowing design flexibility.
(J)
To improve traffic circulation options, particularly for pedestrians and bikers.
(K)
To ensure that development is accomplished with high quality that benefits the property owners and the citizens of the City of Oviedo, thereby protecting the high quality of life afforded to the citizens of the City and enhancing the tax base of the City.
(L)
To integrate the architectural character of neighboring buildings where it provides a positive example through the use of related building features including scale/mass, height, the proportions of entries, windows and other openings (fenestration), colors, materials, and volumes.
(Ord. No. 1647 , § 4, 2-20-17)
(A)
New Development and Redevelopment The standards herein shall apply to new development and redevelopment that results in an increase in the square footage of an existing building, demolition, or renovation of more than fifty (50) percent in the aggregate, or/and a renovation or redesign of façades that impact more than fifty (50) percent of each façade area of the following uses:
(1)
Townhome developments in any zoning district;
(2)
Multifamily developments in any zoning district;
(3)
Mixed-use developments in any zoning district;
(4)
Office and Commercial uses in any zoning district;
(5)
Parking garages; or
(6)
Institutional use involving buildings with a footprint larger than 30,000 square feet in any zoning district. For this use, the City will only apply the massing standards designed for commercial/office use.
(B)
Permissible Uses The standards apply to developments listed in the Land Development Code Table of Permissible Uses as permissible uses, as permissible uses with the approval of special exception use orders (SEUO) or as permissible uses as part of a planned unit development (PUD) in all zoning districts.
(C)
Alternative Design These standards are not intended to prevent the use of alternative designs that meet the intent and purpose established in Section 8.1. Proposals for alternative design solutions may be submitted to the City Council for consideration as provided for in Section 8.9.
(D)
Demonstration of Compliance Compliance with the urban design standards shall be demonstrated to the approving authority prior to the issuance of a site development order and compliance with the architectural design standards shall be demonstrated to the City Council prior to the issuance of an architectural design order and building permit approval.
(E)
Repainting of Existing Buildings Repainting of existing buildings shall comply with the "Color" Section for each respective use and may be approved by Staff if no deviations are requested.
(F)
Issuance of Development Order Unless otherwise set forth herein, the determinations made with regard to compliance with any of these standards shall be made by applying sound and generally acceptable planning and architectural principles and practices, as applicable. Any finding required to be made shall be made by issuance of a development order by the appropriate approving authority on the basis of clear and convincing evidence being submitted in support thereof to the City. Denials shall be issued in accordance with the provisions of F.S. § 166.033.
(G)
Relationship with Other Sections of the Land Development Code In the event that the requirements of the standards set forth in this Article are in conflict with the standards of other sections of Land Development Code, the standards in this article shall apply.
(Ord. No. 1647 , § 4, 2-20-17)
(A)
Innovative Design and Density Bonus If development meets a minimum of two (2) of the following policies under innovative design encouraged by the Comprehensive Plan, it will be eligible for density bonus, where applicable, according to the Comprehensive Plan, subject to City Council approval, which shall be issued by means of a development order finding that the applicant meets such policies:
(1)
Tree Preservation. The development preserves more than twenty-five (25) percent of trees with caliper larger than (>) thirty (30) inches in diameter at breast height (dbh).
(2)
Complete Streets. The development provides complete public streets (as exemplified in Figure 8.1 and/or accepted by the City Engineer).
(3)
Community for a Lifetime Residential Units. The development provides twenty-five (25) percent of residential units addressing "Communities for a Lifetime" principles, by offering elevators in residential developments or master bedroom suites at ground level.
(4)
Low Impact Development. The development proposes low impact development engineering solutions for storm water including, but not limited to, bio-swales, porous paving, green roofs, etc.
(5)
Charging Stations for Electric Cars. The development dedicates at least five (5) percent of required parking or, in the case of townhomes the required guest parking, as charging stations for electric cars with the installation of the required equipment, above the specific charging station parking requirements for the development.
(6)
Use of Environmentally Friendly Design Practices. The development utilizes environmentally friendly building design practices such as the provision of high efficacy lighting and alternative energy solutions including, but not limited to, solar energy solutions.
(7)
Health-Design Solutions. The development offers health-design solutions such as, but not limited to, community gardens, internal bicycle lanes/trails, and outdoor communal fitness equipment.
(8)
Vertical Mixed-Use. The development implements vertical mixed-use.
(B)
Deviations and Mitigations If the applicant requests deviations pursuant to Section 2.7, Flexibility in Administration (Deviations), to any design standard that is regulated in this Chapter, and mitigation is required, such mitigation shall be provided according to the following mitigation techniques:
(1)
Tree Preservation. The development preserves more than twenty-five (25) percent of trees with caliper larger than (>) thirty (30) inches in diameter at breast height (dbh).
(2)
Complete Streets. The development provides complete public streets as exemplified in Figure 8.1 and/or accepted by the City Engineer.
Figure 8.1 — Complete Streets Examples
(3)
Wide Sidewalks. The development provides sidewalks with a width of at least eight (8) feet.
(4)
Community for a Lifetime Residential Units. The development provides twenty-five (25) percent of residential units addressing "Communities for a Lifetime" principles, by offering elevators in residential developments or master bedrooms at ground level.
(5)
Low Impact Development. The development proposes low impact development engineering solutions for storm water including, but not limited to, bio-swales, porous paving, green roofs, etc.
(6)
Charging Stations for Electric Cars. The development dedicates at least five (5) percent of required parking or guest parking as charging stations for electric cars with the installation of the required equipment, above the specific charging station parking requirements for the development.
(7)
Use of Environmentally Friendly Design Practices The development utilizes environmentally friendly building design practices such as green roofs, and the provision of alternative energy solutions including, but not limited to, solar energy solutions.
(8)
Health Design Solutions. The development offers health-design solutions including, but not limited to, community gardens, internal bicycle lanes/trails, and outdoor communal fitness equipment.
(9)
Public Amenities. The development offers public amenities such as patios and plazas, landscaped mini-parks, squares or greens beyond what is required.
(10)
Vertical Mixed-Use. The development implements vertical mixed-use.
(11)
Public Art. The development will donate public or provide semi-public art including, but not limited to, sculptures or murals consistent with City policy on public art.
(12)
Other Mitigation. Such other mitigations that the City Council determines to better mitigate the standard(s) being deviated from, which is clearly and convincingly consistent with the intent of this section and which is consistent with sound and generally accepted land use and architectural practices and principles.
(C)
Number of Mitigation Techniques Deviations up to twenty (20) percent shall require one (1) mitigation technique; deviations above twenty (20) percent and up to fifty (50) percent shall require two (2) mitigation techniques; and deviations above fifty (50) percent shall require three (3) mitigation techniques. If multiple deviations are requested, the number of mitigation techniques will be based on the highest deviation requested.
(D)
Use of Innovative Design and Mitigation Techniques A policy used to satisfy the criteria of Section 8.3(A) may not be credited to meet the criteria set forth in Section 8.3(B), and vice-versa.
(Ord. No. 1647 , § 4, 2-20-17)
(A)
Site Design
(1)
Streets/Alleys/Walkways.
(a)
Intent. The intent of this section is to ensure all development provides internal and external circulation connectivity and safety as may be required to protect the public interest.
(b)
Sidewalks on both sides of a street. Private and public streets within developments shall provide sidewalks on both sides of the public or private street.
(c)
Street connectivity. New streets (public and private) and sidewalks (public and private), as defined by F.S. § 334.03, shall feature an integrated circulation network within the development and shall be extended and integrated into the existing public street system. Where street connections are not possible, pedestrian and bike paths shall be used as an alternative, unless the applicant clearly and convincingly demonstrates that such connection is impracticable.
(d)
Gated developments and cul-de-sacs. Gated developments and cul-de-sacs are discouraged. If a project proposes to be gated, the applicant shall submit justification to the Land Use Administrator and the proposal shall be subject to City Council approval, which determination shall be made based upon an evaluation of the public interest and internal orientation and connectivity evaluations.
(e)
Access points. Townhome developments with more than fifty (50) dwelling units shall provide a minimum of two (2) access points to public streets.
(f)
Minimum width of streets and rights-of-way. Internal streets or rights-of-way (public and private) shall have a minimum width of fifty (50) feet, unless otherwise approved by the City Engineer, based upon sound and generally accepted engineering practices and principles.
(g)
Minimum width of alleys. Internal alleys shall be one way and have a minimum width of sixteen (16) feet of pavement and a total width of twenty (20) feet.
(h)
Minimum width of sidewalks. Sidewalks shall have a minimum width of five (5) feet clear of vehicle overhangs.
(i)
Walkways between buildings. A walkway shall be provided between building blocks to access common areas.
Figure 8.2 — Alleys, Townhomes
(2)
Open Space.
(a)
Intent. The intent of this section is to provide a balance between developed areas and undeveloped areas in the City, which is consistent with sound and generally accepted planning and land use practices and principles.
(b)
Minimum Open Space Area. A minimum of twenty-five (25) percent of the total site shall be dedicated as open space.
(c)
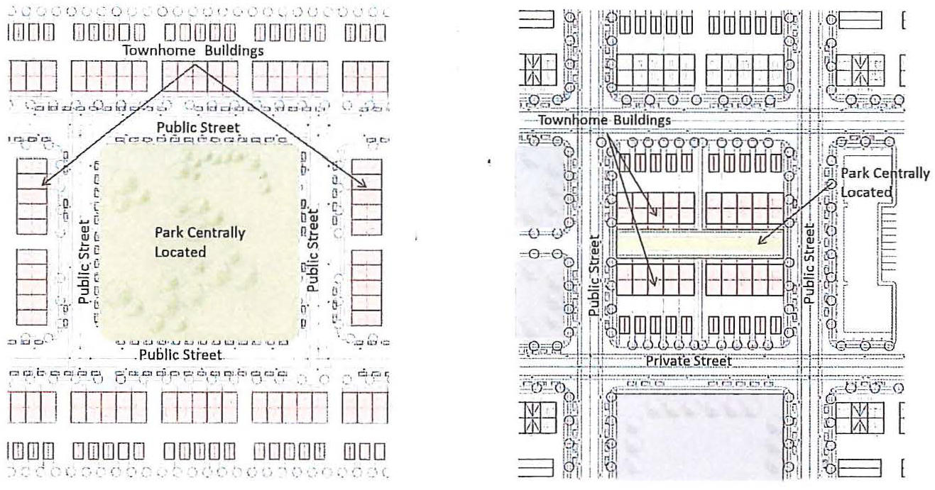
Location of Open Spaces and Recreational Areas. Open spaces and recreational areas shall be centrally located and shall be visually and physically connected to streets. If not possible to provide a centrally located recreational area, justification shall be provided by the applicant and the alternative proposal will be subject to approval by the City Council upon evidence of sound and generally accepted planning and land use practices and principles.
(d)
Design of Open Spaces and Recreational Areas. Open space and recreational areas are encouraged be designed to use topographic, natural and/or historic site features to enhance the aesthetics of the site.
(e)
Mini-parks. Mini-parks are required in an aggregate amount equal to three hundred and fifty (350) square feet per lot.
Figure 8.3 — Open Space/Recreation Area Location, Townhomes
(3)
Landscape.
(a)
Intent. The intent of this section is to preserve and protect existing healthy trees and ensure that the new development provides shade and greenery to residents.
(b)
Street Trees. A minimum of one (1) large street tree shall be provided for every fifty (50) linear feet of right-of-way, adjacent to a development parcel. Alternatively, a minimum of one (1) medium street tree may be allowed for every thirty (30) linear feet of right-of-way, adjacent to a development parcel, if applicant demonstrates that it is impractical to plant the large street trees.
(c)
Lot Trees. At least one (1) large tree per lot shall be provided. Alternatively, one (1) large tree may be replaced by two (2) medium trees or one (1) medium tree and one (1) palm tree, except as provided in Subsection (d).
(d)
Lot Trees within Lots with Front Setback of Seven point Five (7.5) Feet and Rear Setbacks of Five (5) Feet In case of townhomes with front setback of seven point five (7.5) feet and rear setbacks of five (5) feet, the required number of lot trees may be split according to the following calculation: a minimum of fifty (50) percent of the required number of lot trees shall be planted on the lots and the remaining number of trees shall be planted in the common area.
(4)
Lighting.
(a)
Intent. The intent of this section is to ensure safety and convenience for the circulation of people and motor vehicles.
(b)
Areas to be lighted. Areas such as sidewalks, plazas, recreational areas, entrances, garbage disposal areas, and alleys shall be illuminated at night to ensure pedestrian safety. Lighting shall be provided at regular intervals to prevent dark pockets.
(c)
Design standards.
i.
Internal development lighting for pedestrian lighting areas shall have a maximum pole height of sixteen (16) feet. Development lighting for vehicular areas shall have maximum pole height of thirty-five (35) feet.
ii.
Lighting fixtures shall be consistent throughout the development and shall aesthetically complement the architecture of the building as to its style.
iii.
All lighting fixtures in public rights-of-way shall use Light Emitting Diode (LED) lighting.
iv.
Lighting fixtures shall use concealed source fixtures.
v.
Light poles shall have fluted bases.
vi.
Lighting in exclusively pedestrian areas may use illuminated bollards instead of light poles.
vii.
If the applicant proposes an innovative lighting design that does not comply with non-quantifiable standards, the applicant shall provide a justification and the proposal shall be submitted to the City Council for approval based upon an evaluation of the aesthetic of the design and its overall consistency with the proximate architectural features.
Figure 8.4 — Lighting, Townhomes
(5)
Guest Parking.
(a)
Intent. The intent of this section is to provide adequate parking for visitors and to not adversely impact proximate areas with overflow parking.
(b)
Guest parking location. Townhome development shall accommodate guest parking either on street, on the lot or in a designated common area. Guest-parking is encouraged to be evenly distributed within the site.
(c)
Guest parking depicted in the plans. The applicant shall depict the guest parking location on the plans.
(d)
Guest parking calculation. The calculation for the guest parking shall be zero point two-five (0.25) parking spaces per townhome unit.
(6)
Signage.
(a)
Sign designs. Townhome subdivision entrance signs (free standing signs or wall subdivisions signs) shall be complementary to the architecture of the development.
(b)
Electronic changeable copy sign. Electronic changeable copy signs for the townhome subdivision entrance signs are prohibited.
(B)
Building Siting
(1)
Building Orientation.
(a)
Orientation. The intent of this section is to orient townhome front entrances towards the public or private streets, common areas or courtyards (publicly accessible spaces) and to have townhome buildings creating a sense of spatial enclosure along streets with buildings forming a "street wall" and defining "outdoor rooms".
(b)
Front entrances. The front unit entrance shall be located on the primary façade.
(c)
Façade classification.
i.
A façade that has a primary entrance door is a primary façade.
ii.
If the townhome is located in a corner lot that faces two (2) public streets and the side façade does not have a primary entrance, that side façade is the secondary façade.
iii.
If the townhome façade with the primary entrance faces a common area or a courtyard and the garage faces a private internal street, the façade where the garage is located is a secondary façade, and the façade with the primary entrance is a primary façade. If the garage faces a public street, the garage façade is a primary façade.
(d)
Building length. Maximum building group length shall be ten (10) units or two hundred and fifty (250) feet, whichever is less.
(e)
Relationships between buildings. Townhome buildings shall face each other with a front-to-front or a back-to-back relationship depending on location relative to a street, lane or open space.
(f)
Minimum distance between buildings across each other. If townhome buildings' primary façades face each other in a common area instead of across the street, the minimum distance between the buildings across the common area shall be fifty (50) feet.
(a) Townhomes facing two public or private streets and no side entrance
(b) Townhomes facing two public or private streets and with side entrances at the
corners
(c) Townhomes' main entrance facing a courtyard and garages facing a public street
(d) Townhomes main entrance facing a courtyard and garages facing a private street
(2)
Lot size, width and setbacks.
(a)
Intent. The intent of this section is to organize the location of townhomes and accessory structures in relation to the street, to the lot and to other adjacent units in order to provide enough space for air circulation, insulation, vegetation, storm water filtration and privacy between units.
(b)
Lot dimensions. Townhome lots shall have a minimum area of one thousand eight hundred (1,800) square feet and minimum lot width of twenty (20) feet.
(c)
Front setbacks to principal structure. The minimum front setbacks shall be:
i.
Seven point five (7.5) feet for buildings with rear-loaded garages fronting complete streets;
ii.
Fifteen (15) feet for buildings with rear-loaded garages fronting non-complete streets; or
iii.
Twenty (20) feet for buildings with front-loaded garages.
(d)
Side setbacks to principal structure. The minimum side setback for corner lots/buildings shall be five (5) feet on the side facing the corner.
(e)
Rear setbacks to principal structure. The minimum rear setback for buildings shall be a minimum five (5) feet for townhomes with rear-loaded garages off alleys and a minimum ten (10) feet for townhomes with no rear loaded garages.
(f)
Architectural elements in the setback. Entry stoops, porches or architectural elements may encroach into the front setback area up to five (5) feet.
(g)
Distance between buildings. The minimum distance between townhome buildings shall be fifteen (15) feet for regularly shaped lots and an average of fifteen (15) feet, minimum of ten (10) feet for irregularly shaped lots.
Figure 8.6 — Distance between Buildings, Townhomes
(3)
On-site Parking.
(a)
Intent. The intent of this section is to ensure that garages are not a prominent element in the façade with emphasis placed on the residential primary entrance. Therefore, garages are encouraged to be rear-loaded.
(b)
Minimum number of parking spaces. On-site parking spaces per unit shall be provided based on the number of bedrooms minus one (1), with a minimum of two (2) parking spaces per unit.
(c)
Garage frontage maximum length. Garages frontage length shall not exceed fifty (50) percent of the primary façade length.
Figure 8.7 — Percentage of Garage Frontage Length, Townhomes
(d)
Detached rear garage. Detached rear garage is permissible.
(e)
Common parking garages. Common parking garages/areas are permissible.
(C)
Building Form
(1)
Articulation and Design.
(a)
Intent. The intent of this section is to reduce the apparent size of buildings and create visual interest. Building façades and roofs shall include architectural elements that vary in order to alleviate the appearance of a large building mass, break up long walls, express the individuality of each unit, and enhance the character of the neighborhood/development.
(b)
Architectural elements. Architectural elements and variation shall not be restricted to a single façade. All sides of a building shall display a balanced level of quality and architectural interest consistent with sound and generally accepted architectural practices and principles.
(c)
Front entrance articulation. Front entrances shall be clearly defined with the use of architectural features including, but not limited to, porticos, recessed/projected access, stairs, columns, canopies, different material or treatment.
(d)
Minimum number of articulation elements. The following minimum articulation elements are required:
i.
Primary façade: Three (3) elements.
ii.
Secondary façade: Two (2) elements.
iii.
Rear façade: One (1) element.
iv.
Rear façade visible from a right-of-way but not fronting a right-of-way: Two (2) elements.
(e)
Articulation elements.
i.
Arched, gabled, stepped or decorative parapet with cornice over building entrances, integrated with the building's massing and style.
ii.
Canopies, balconies, patios, porches or porticos, bay windows, steps, ornamental guardrails, pergolas, columns, all of which shall be integrated with the building's massing and style.
iii.
Vertical or horizontal modulation.
iv.
Peaked roof forms used as wall articulation.
v.
Overhangs or other roof treatments that provide shade and break the vertical plane, a minimum of three (3) feet deep that cover at least twenty (20) percent of the horizontal length of the façade.
vi.
Ornamental and structural articulations that are integrated into the building structure, consistent with the building's mass and scale. Vertical architectural treatments shall have a minimum width of twenty (20) inches and a projection or recession of a minimum of twelve (12) inches in depth.
vii.
Articulation elements that reflect the individuality of each unit including, but not limited to, recesses, additional decorative features, or change of material and/or change of color associated with difference in façade plane, consistent with sound and generally accepted architectural practices and principles.
viii.
If a rear façade is visible from, but does not front a right-of-way, requiring two (2) articulation elements, enhanced perimeter landscape is permissible as one (1) of the two (2) required articulation elements. The perimeter landscaped area shall be a minimum five (5) feet wide and shall include groundcover and shrubs/vegetation that provide dense screening with a mature height of six (6) feet at a minimum, and one (1) understory tree or clusters of three (3) palm trees for each twenty-five (25) feet, or fraction thereof, of the linear building façade.
ix.
Any other treatment that the approving authority determines to clearly and convincingly be consistent with the intent of this section and is consistent with sound and generally accepted land use planning practices and principles.
(f)
Articulation elements of accessory structures. Separate accessory structures on the site shall have similar and compatible architectural detail, design elements and roof design as the principal structure, consistent with sound and generally accepted architectural practices and principles.
(g)
Application of articulation. Elements utilized to satisfy wall articulation requirements shall not be credited as satisfying other design requirements.
Figure 8.8 — Façade Articulation, Townhomes
(2)
Roof Modulation.
(a)
Intent. The intent of this section is to ensure that visual interest also applies to roof treatment. Roof forms may be used to identify different functional areas within the building, to provide for additional light to enter the building, to reduce massing, to screen rooftop equipment, and to create movement along the roof line.
(b)
Roof design compatibility. Roofing forms, slopes, details, materials, and overall design shall be compatible with the overall style, mass, scale and character of the structure.
(c)
Gutters and downspouts. All roofs shall include gutters/downspouts that:
i.
Drain directly into a cistern, landscaped area or storm drain system.
ii.
Match the trim or body color of the façade.
iii.
Are discreetly located to maximize aesthetics, unless decorative in nature.
(d)
Vent pipes. Vent pipes that are visible from a street and pedestrian area shall be painted to match the color of the roof to make them less visible.
(e)
Number and roof modulation elements. The following minimum roof modulation elements are required:
i.
Primary façade: Two (2) elements.
ii.
Secondary façade: One (1) element.
(f)
Roof modulation elements.
i.
Uninterrupted roofline along the eave between roof modulation elements shall be no more than forty (40) feet.
ii.
Decorative parapets that are a minimum of three (3) feet in height above the finished roof.
iii.
Multiple peaks and/or roof planes.
iv.
A sloping roof with an average pitch of 3:12 or greater.
v.
Extension of window or façade elements up into the roof area.
vi.
Distinctive roof forms covering each building mass.
vii.
Same roof form with a different orientation of the ridge elements.
viii.
Same roof form with same orientation, but the roof has a minimum change in elevation of two point five (2.5) feet between each roof level.
ix.
Any other treatment that the approving authority determines to be consistent with the intent of this Subsection and is consistent with sound and generally accepted land use planning and architecture practices and principles.
Figure 8.9 — Roof Modulation, Townhomes
(3)
Fenestration.
(a)
Intent. The intent of this section is to ensure identity and visual interest in townhome design and ensure proper natural light and ventilation to townhome units.
(b)
Design Standards. Doors, windows and other openings in a building exterior façade shall comply with all of the following:
i.
Fenestration elements (doors, windows and openings) shall be appropriately sized for the scale and style of the building on which they are located.
ii.
Windows, doors and/or openings shall occupy a minimum of twenty (20) percent of the area of the primary façade and ten (10) percent of the area of the secondary façade or façades that front a street, park, plaza or on-site courtyard.
iii.
A garage door can be creditable as fenestration element if providing a minimum of twenty (20) percent of its area as windows.
iv.
Windows shall provide day-lighting into the building.
v.
Windows shall be vertical in shape (height at least twenty (20) percent greater than width). Buildings using large amounts of glass shall divide the glass into smaller panels achieving proportions emphasizing verticality.
Figure 8.10 — Fenestration, Townhomes
(4)
Materials.
(a)
Intent. The intent of this section is to use façade materials to provide character and attractiveness to the set of buildings. Materials shall be varied and contrasting either to differentiate dwelling units or to differentiate specific portions of dwelling units.
(b)
Material consistency. Material treatment shall be consistent in all façades and shall be complementary to one another and appropriate for the architectural style.
(c)
Number of façade materials. The minimum number of building materials used on a primary façade and secondary façade shall be two (2), excluding fenestration, trims and decorative elements.
(d)
Change in materials. Changes in material shall generally occur when there is a change in the plane of the façade. The change in material is encouraged to occur on inside corners of the building.
(e)
Wrapping materials around building corners. Brick and stone materials shall wrap around corners to give an appearance of structural function and minimize a veneer appearance.
(f)
Brick and stone veneer. If used, brick and stone veneer shall be mortared to give the appearance of a structural function
(g)
Minimum and maximum percentages of specific façade materials.
i.
The minimum percentage of stone and/or brick in a primary façade is twenty (20) percent and the minimum percentage of stone and/or brick in a secondary façade is ten (10) percent.
ii.
The maximum percentage for stucco in a primary façade is forty (40) percent and the maximum percentage for wood panel (including painted or stained lap horizontal siding, vertical board, batten wood siding) is forty (40) percent.
iii.
The maximum percentage for stucco in a secondary façade is fifty (50) percent and the maximum percentage for wood panel (including painted or stained lap horizontal siding, vertical board, batten wood siding) is fifty (50) percent.
(h)
Percentage calculation. The percentage calculation shall be based on exterior walls, excluding fenestration, trims and decorative elements.
(i)
Permissible façade materials. High-quality façade materials, including but not limited to: brick, stone, wood panel (including painted or stained lap horizontal siding, vertical board, batten-wood siding) and stucco.
(j)
Prohibited façade materials. Prohibited façade materials include: untreated concrete block, plywood, unfinished lumber aluminum, textured T1-11, corrugated fiberglass, sheet metal or tin siding and any other materials determined by the City to be of similar nature or effect.
Figure 8.11 — Materials, Townhomes
(5)
Colors.
(a)
Intent. The intent of this section is to ensure that colors are harmonious and add to the visual character of the building.
(b)
Prohibited colors and finishes The following are prohibited on the exterior of any building, which are found by the City to be one or more of the following:
i.
Colors that are garish, gaudy, loud, excessive or ostentatious;
ii.
Colors that constitute a glaring and unattractive contrast to the surrounding buildings or area;
iii.
Colors that fluoresce under ultra-violet (UV) or black light;
iv.
Colors and finishes that are pearlescent or excessively reflective in nature.
(c)
Maximum number of colors. A maximum of three (3) colors may be used on the exterior walls of any building plus two (2) additional colors for trim/cornice work.
(d)
Natural materials. Unpainted materials such as brick and stone do not count as colors.
(6)
Height.
(a)
Building height. The maximum height of townhome buildings shall be forty-five (45) feet in any zoning district within the City.
(D)
Accessory Structures
(1)
Fences and walls.
(a)
Height/Setbacks.
i.
Fences and walls located in the front yard/setback (excluding retaining and subdivision walls) shall have a maximum height of three (3) feet and shall observe a minimum setback of two (2) feet from the right-of-way.
ii.
Rear and side yard fences and walls shall have a maximum height of six (6) feet and the minimum setback shall be zero (0).
iii.
In the case of corner lots, if the side of a principal structure faces a right-of-way, the walls and fences shall observe a minimum setback of two (2) feet from the right-of-way.
iv.
Fence and wall posts maximum height shall not exceed twelve (12) inches over the fence or wall height.
v.
Townhome subdivision walls shall have a maximum height of six (6) feet.
(b)
Subdivision wall facing ROW. If a townhome subdivision wall faces a right-of-way, the subdivision shall provide a tract (common area) with a minimum width of five (5) feet between the private property and the right-of-way between which the subdivision wall/fence will be built.
(c)
Material consistency. Fences and walls shall be constructed with materials that are consistent or complementary to the architecture of the development.
(d)
Permissible wall finishing materials. Permissible wall finishing materials include: brick and stone.
(e)
Permissible/prohibited fence materials. Permissible fence materials include wood, vinyl, anodized or powder coated aluminum and wrought iron. Materials such as barbed wire, razor wire and chain link are prohibited.
Figure 8.12 — Fences and Walls, Townhomes
(2)
Service Areas.
(a)
Intent. The intent of this section is to ensure that common refuse/recycling collection containers (garbage dumpsters) are located in areas that are not visible from public streets by pedestrians.
(b)
Design requirements for common refuse/recycling collection containers (garbage dumpsters).
i.
Refuse/recycling collection containers (garbage dumpsters) shall be structurally screened.
ii.
Screening shall be a minimum one (1) foot greater in height than the element being screened.
iii.
Structural screening shall be consistent with the architectural elements, materials, and colors of the principal structure and shall completely obstruct the view of the element being screened.
iv.
Whenever practicable, these areas and equipment shall be integrated into the main structure.
v.
The minimum rear and side setback for common refuse/recycling collection containers shall be five (5) feet.
(3)
Mechanical Equipment.
(a)
Intent. The intent of this section is to ensure that mechanical equipment is located in areas that are not visible from public streets by pedestrians.
(b)
Location. Mechanical equipment shall be placed on the roof, on the side, or in the rear of each building.
(c)
Roof-top equipment screening requirements.
i.
Roof-top mechanical equipment shall be completely screened from all ground level views by a parapet wall or other architectural feature, which feature shall be architecturally integrated to the building.
ii.
The parapet screen height shall be at least one (1) foot higher than the mechanical equipment being screened. In exceptional cases, if the applicant cannot meet this requirement, the applicant may propose a different screening height if demonstrated by the line of sight that the equipment is not visible from the pedestrian view, in which case it shall not be considered a deviation.
iii.
Structural screening shall be consistent with the architectural elements, materials and colors of the principal structure. Whenever practicable, these areas and equipment shall be integrated into the main structure.
(d)
Ground-mounted equipment screening requirements.
i.
Ground-mounted equipment shall not be visible from public rights-of-way, by pedestrians or adjacent residential properties.
ii.
Screening shall be provided at a minimum one (1) foot greater in height than the area/equipment being screened.
iii.
Structural screening shall be consistent with the architectural elements, materials, and colors of the principal structure. Whenever practicable, these areas and equipment shall be integrated into the main structure.
iv.
The minimum rear setback for ground-mounted equipment shall be five (5) feet.
v.
The minimum side setback for ground-mounted equipment shall be zero (0) feet for internal units or to end-units (not corner lots) with no side yard.
vi.
The minimum side setback for ground-mounted equipment shall be three (3) feet for corner lots.
Figure 8.13 — Mechanical Equipment Screening, Townhomes
(4)
Solar Panels.
(a)
Intent. The intent of this section is to allow green building practices by permitting solar panels in townhome development while keeping the aesthetic character of the building and the development.
(b)
Locational requirements.
i.
Solar panels that are not integrated in the architecture of the façade or roof shall be hidden from sight and shall be treated as mechanical equipment.
ii.
Solar panels and photovoltaic elements that are integrated into the building architecture shall comply with the architecture articulation or roof modulation.
(5)
Other detached accessory structures (pergolas, sheds, cabanas, gazebos, garages etc.).
(a)
Location.
i.
Detached accessory structures for the individual units (such as sheds, cabanas, gazebos and garages) shall be located to the rear of the principal structure on townhome lots.
ii.
Detached accessory structures for the development (such as club houses, gyms etc.) have no locational requirements.
iii.
Common parking garages shall be located to the rear of the development.
(b)
Design standards for accessory structures for the individual units
i.
Detached accessory structures shall not exceed one hundred twenty (120) square feet in floor space, except for detached garages where no maximum square footage is required. Detached accessory structures shall be setback a minimum of five (5) feet from the rear, and a minimum of zero (0) feet from the side property line.
ii.
In the case of a corner lot, the detached accessory structures shall be setback from the street-side property line no less than the minimum setback for the principal structure.
iii.
The maximum height of a detached accessory structure shall be twelve (12) feet for the minimum rear setback allowed. If any point of a detached accessory structure exceeds twelve (12) feet in height, the entire structure must be setback an additional two (2) feet for every one (1) foot of height which exceeds twelve (12) feet.
iv.
The maximum height of a detached garage shall be the same as the principal structure.
(c)
Design standards for common accessory structures for the development (club houses, gyms, etc.).
i.
Detached accessory structures such as pergolas and cabanas shall provide the following minimum setbacks: front setback: fifteen (15) feet; side setback: five (5) feet; and rear setback: ten (10) feet.
ii.
Detached accessory buildings such as club houses and gyms shall observe the same minimum setbacks as the principal structure.
iii.
The maximum height of a detached accessory structure shall be the same as the principal structure.
(Ord. No. 1647 , § 4, 2-20-17)
(A)
Site Design
(1)
Streets/Alleys/Walkways.
(a)
Intent. The intent of this section is to ensure that the development provides internal and external circulation connectivity and safety as may be required to protect the public interest.
(b)
Sidewalks on both sides of a street. Private and public streets within the development shall provide sidewalks on both sides of the public or private street.
(c)
Street connectivity. New streets, as defined by F.S. § 334.03, (public and private) shall feature an integrated pedestrian circulation network within the development and shall be extended and integrated into the existing public street system. Where street connections are not possible, pedestrian and bike paths shall be provided as an alternative, unless demonstrated that such connection is impracticable.
(d)
Gated developments and cul-de-sacs. Gated developments and cul-de-sacs are discouraged. If a project proposes to be gated, the applicant shall submit justification to the Land Use Administrator and the proposal shall be subject to City Council approval, which determination shall be made based upon an evaluation of the public interest and internal orientation and connectivity evaluations.
(e)
Access points. Developments with more than fifty (50) dwelling units shall provide a minimum of two (2) access points.
(f)
Minimum width of streets and rights-of-way. Internal streets (public and private) shall have a minimum width of fifty (50) feet, unless otherwise approved by the City Engineer, based upon sound and generally accepted engineering practices and principles.
(g)
Minimum width of alleys. Internal alleys shall be one way and have a minimum width of sixteen (16) feet of pavement and a total width of twenty (20) feet.
(h)
Minimum width of sidewalks. Sidewalks shall have a minimum width of five (5) feet clear of vehicle overhangs.
(i)
Walkways between buildings. A walkway shall be provided between building blocks to access common areas.
Figure 8.14 — Integrated Pedestrian Connections, Multifamily
(2)
Open Space.
(a)
Intent. The intent of this section is to provide a balance between developed areas and undeveloped areas in the City, which is consistent with sound and generally accepted planning and land use practices and principles.
(b)
Minimum Open Space Area. A minimum of twenty-five (25) percent of the total site shall be dedicated to be open space.
(c)
Location of open Spaces and Recreational Areas. Open spaces and recreational areas shall be centrally located and shall be visually and physically connected to the streets. If not possible to provide a centrally located recreational area, justification shall be provided by the applicant and the alternative proposal will be subject to approval by the City Council upon evidence of sound and generally accepted planning and land use practices and principles.
(d)
Design of Open Spaces and Recreational Areas. Open space and recreational areas are encouraged be designed to use topographic, natural and/or historic site features to enhance the aesthetics of the site.
(e)
Mini-Parks. Developments with more than twenty-five (25) units shall provide a mini-park in an aggregate amount at a rate of:
i.
Two hundred (200) square feet per dwelling unit for the first fifty (50) dwelling units;
ii.
One hundred and fifty (150) square feet per dwelling unit for additional units above fifty (50) units and up to one hundred (100) dwelling units;
iii.
One hundred (100) square feet per dwelling unit for additional units above one hundred (100) dwelling units.
Figure 8.15 — Open Space/Recreation Location, Multifamily
(3)
Landscape.
(a)
Intent. The intent of this section is to preserve and protect existing healthy trees and ensure that new development provides shade and greenery to residents.
(b)
Street Trees. A minimum of one (1) large street tree shall be provided for every fifty (50) linear feet of right-of-way, adjacent to a development parcel. Alternatively, a minimum of one (1) medium street tree may be allowed for every thirty (30) linear feet of right-of-way, adjacent to a development parcel, if applicant demonstrates that it is impractical to plant the large street trees.
(c)
Lot Trees. The minimum number of required trees for multifamily development is calculated at a rate of fifteen (15) trees per net buildable acre.
(4)
Lighting.
(a)
Intent. The intent of this section is to ensure safety and convenience for the circulation of people and motor vehicles.
(b)
Areas to be lighted. Areas such as sidewalks, plazas, recreational areas, entrances, garbage disposal areas, and alleys shall be illuminated at night to ensure pedestrian safety. Lighting shall be provided at regular intervals to prevent dark pockets.
(c)
Design standards.
i.
Internal development lighting for pedestrian lighting areas shall have a maximum pole height of sixteen (16) feet. Development lighting for vehicular areas shall have maximum pole height of thirty-five (35) feet.
ii.
Lighting fixtures shall be consistent throughout the development and shall aesthetically complement the architecture of the building as to its style.
iii.
All lighting fixtures in public rights-of-way shall use Light Emitting Diode (LED) lighting.
iv.
Lighting fixtures shall use concealed source fixtures.
v.
Light poles shall have fluted bases.
vi.
Lighting in exclusively pedestrian areas may use illuminated bollards instead of light poles.
vii.
If the applicant proposes an innovative lighting design that does not comply with non-quantifiable standards, the applicant shall provide a justification and the proposal shall be submitted to the City Council for approval based upon an evaluation of the aesthetic of the design and its overall consistency with the proximate architectural features.
Figure 8.16 — Lighting, Multifamily
(5)
Guest Parking.
(a)
Intent. The intent of this section is to provide adequate parking for visitors and to not adversely impact proximate areas with overflow parking.
(b)
Guest parking Location. Multifamily development shall accommodate guest parking either on street or in a designated common area. Guest parking is encouraged to be evenly distributed within the site.
(c)
Guest parking depicted on the plans. The applicant shall depict the guest parking location on the plans.
(d)
Guest parking calculation. The calculation for the guest parking shall be zero point two-five (0.25) parking spaces per unit.
(6)
Signage.
(a)
Sign designs. Entrance signs (free standing signs, wall signs or projecting signs) shall be complementary to the architecture of the development.
(b)
Electronic changeable copy signs. Electronic changeable copy signs for the multifamily development are prohibited.
(B)
Building Siting
(1)
Building Orientation.
(a)
Intent. The intent of this section is to orient multifamily buildings front entrances towards the public or to private streets, common areas or courtyards (publicly accessible spaces), and to have multifamily buildings creating a sense of spatial enclosure along streets with buildings forming a "street wall" and defining "outdoor rooms".
(b)
Front entrances. One (1) primary front entrance per multifamily building unit shall be provided on the primary façade.
(c)
Façade classification.
i.
A façade that has a primary entrance door is a primary façade.
ii.
A façade that faces a public or private street is a primary façade. If the multifamily building is located on a corner lot that faces two (2) public streets, then both façades facing the streets shall be primary façades.
(d)
Relationship between buildings. Multifamily buildings shall face each other with a front-to-front or a back-to-back relationship depending on location relative to a street, lane or open space.
(e)
Minimum distance between buildings across each other. If multifamily buildings' primary façades face each other in a common area instead of across the street, the minimum distance between buildings across the common area shall be fifty (50) feet.
Figure 8.17 — Building Orientation, Multifamily
(a) Buildings facing two public streets with a visible rear façade
(b) Buildings facing a courtyard and private and public streets
(2)
Lot size, width and setbacks.
(a)
Intent. The intent of this section is to organize the location of multifamily buildings and accessory structures in relation to the street, to the lot and to other adjacent buildings in order to provide enough space for air circulation, insulation, vegetation, storm water filtration and privacy between building units.
(b)
Lot dimensions. There is no minimum lot width or minimum lot size for multifamily developments.
(c)
Front setbacks to principal structure. The minimum front setback shall be:
i.
Ten (10) feet for buildings on complete streets; or
ii.
Twenty (20) feet for buildings on non-complete streets.
(d)
Side setbacks to principal structure. The minimum side setback shall be fifteen (15) feet for three (3) story developments and twenty (20) feet for buildings with more than three (3) stories.
(e)
Rear setbacks to principal structures. The minimum rear setback for multifamily principal buildings shall be twenty (20) feet.
(f)
Architectural elements in the setback. Entry stoops, porches or architectural elements may encroach into the setback area up to five (5) feet.
(g)
Distance between buildings. The minimum distance between buildings internal to a development shall be twenty (20) feet.
Figure 8.18 — Distance between Buildings, Multifamily
(3)
On-site Parking.
(a)
Intent. The intent of this section is to provide adequate parking while minimizing the visibility of the parking area from the street view.
(b)
Minimum number of parking spaces. On-site parking spaces shall be provided based on the following calculation: one point six-five (1.65) parking spaces per unit, in addition to the guest parking standards.
(c)
Location of surface parking. Surface parking shall be located behind the principal building or behind the extension of the line of the primary façade.
(d)
Detached parking garages. Individual detached parking garages are permissible and shall be located behind the principal building.
(C)
Building Form
(1)
Articulation and Design.
(a)
Intent. The intent of this section is to reduce the apparent size of buildings and create visual interest. Building façades and roofs shall include architectural elements that vary to alleviate the appearance of a large building mass, break up long walls, express the individuality of each building, and enhance the character of the neighborhood/development.
(b)
Architectural elements. Architectural elements and variation shall not be restricted to a single façade. All sides of a building shall display a balanced level of quality and architectural interest consistent with sound and generally accepted development and architectural practices and principles.
(c)
Front entrance articulation. Front entrances shall be clearly defined with the use of architectural features including, but not limited to, porticos, recessed/projected access, stairs, columns, canopies, different materials or treatments.
(d)
Minimum number of articulation elements. The following minimum articulation elements are required:
i.
Primary façade: Three (3) elements.
ii.
Secondary façade: Two (2) elements.
iii.
Rear façade: One (1) element.
iv.
Rear façade visible from a right-of-way, but not fronting a right-of-way: two (2) elements
v.
If the building is placed in a corner of two (2) rights-of-way, an additional corner element is required.
(e)
Articulation elements.
i.
Arched, gabled, stepped or decorative parapet with cornice over building entrances, integrated with the building's massing and style.
ii.
Canopies, balconies, patios, porches or porticos, bay windows, steps, ornamental guardrails, pergolas, columns, all of which shall be integrated with the building's massing and style.
iii.
Vertical or horizontal modulation.
iv.
Additional peaked roof forms used as wall articulation.
v.
Overhangs or other roof treatments that provide shade and break the vertical plane, a minimum of three (3) feet deep that cover at least fifty (50) percent of the horizontal length of the façade.
vi.
Ornamental and structural articulations that are integrated into the building structure, consistent with the building's mass and scale. Vertical architectural treatments shall have a minimum width of twenty (20) inches and a projection or recession of a minimum of twelve (12) inches in depth.
vii.
If a rear façade is visible from a right-of-way but does not front a right-of-way, requiring two (2) articulation elements, enhanced perimeter landscape is permissible as one (1) of the two (2) required articulation elements. The landscaped area shall be a minimum five (5) feet wide and shall include groundcover and shrubs/vegetation that provide dense screening with a mature height of six (6) feet at a minimum, and one (1) understory tree or clusters of three (3) palm trees for each twenty-five (25) feet, or fraction thereof, of the linear building façade.
viii.
Corner articulation elements, including any of the above (except vii.), or a vertical wall signage, an associated plaza or common area, and/or public art.
ix.
Any other treatment that the approving authority determines to clearly and convincingly be consistent with the intent of this section and is consistent with sound and generally accepted land use planning and architecture practices and principles.
(f)
Articulation elements of accessory structures. Separate accessory structures on the site shall have similar and compatible architectural detail, design elements and roof design as the principal structure, consistent with sound and generally accepted architectural practices and principles
(g)
Application of articulation. Elements utilized to satisfy articulation requirements shall not be credited as satisfying other design requirements.
Figure 8.19 — Façade Articulation, Multifamily
(a) Examples of Façade Elements
(b) Examples of Modulation with Façade Elements
(2)
Roof Modulation.
(a)
Intent. The intent of this section is to ensure that visual interest also applies to roof treatment. Roof forms may be used to identify different functional areas within the building, to provide for additional light to enter the building, to reduce massing, to screen rooftop equipment, and to create movement along the roof line.
(b)
Roof design compatibility. Roofing forms, slopes, details, materials and overall design shall be compatible with the overall style, mass, scale and character of the buildings.
(c)
Gutters and downspouts. All roofs shall include gutters/downspouts that comply with all of the following:
i.
Drain directly into a cistern, landscaped area or storm drain system.
ii.
Match the trim or body color of the façade.
iii.
Are discreetly located to maximize aesthetics, unless of decorative in nature.
(d)
Vent pipes. Vent pipes that are visible from the streets by pedestrians shall be painted to match the color of the roof to make them less visible.
(e)
Number and roof modulation elements The following minimum roof modulation elements are required:
i.
Primary façade: Two (2) elements.
ii.
Secondary façade: One (1) element.
(f)
Roof modulation elements
i.
Uninterrupted roofline along the eave between roof modulation elements shall be no more than forty (40) feet.
ii.
Decorative parapets that are a minimum of three (3) feet in height above the finished roof.
iii.
Multiple peaks and/or roof planes.
iv.
A sloping roof with an average pitch of 3:12 or greater.
v.
Extension of window or façade elements up into the roof area.
vi.
Distinctive roof forms covering each building mass.
vii.
Same roof form with a different orientation of the ridge elements.
viii.
Same roof form with same orientation, but the roof has a minimum change in elevation of two point five (2.5) feet between each subdivision of the building.
ix.
Any other treatment that, the approving authority determines to be consistent with the intent of this Subsection and is consistent with sound and generally accepted land use planning or architectural practices and principles.
Figure 8.20 — Examples of Roof Articulation, Multifamily
(3)
Fenestration.
(a)
Intent. The intent of this section is to ensure identity and visual interest in multifamily building design and ensure proper natural light and ventilation to multifamily dwelling units.
(b)
Design standards. Doors, windows and other openings in a building exterior façade shall comply with all of the following:
i.
Fenestration elements (doors, windows and openings) shall be appropriately sized for the scale and style of the building on which they are located.
ii.
Windows, doors and/or openings shall occupy a minimum of twenty (20) percent of the area of the primary façade or façades that front a street, park, plaza or on-site courtyard and fifteen (15) percent of the area of the secondary façade.
iii.
A garage door can be creditable as fenestration element if providing a minimum of twenty (20) percent of its area as windows.
iv.
Windows shall provide day-lighting into the building.
v.
Windows shall be vertical in shape (height is at least twenty (20) percent greater than width). Buildings using large amounts of glass shall divide the glass into smaller panels achieving proportions emphasizing verticality.
Figure 8.21 — Fenestration, Multifamily
(4)
Materials.
(a)
Intent. The intent of this section is to use façade materials to provide character and attractiveness to the multifamily building(s). Materials shall be varied and contrasting either to differentiate buildings or parts of buildings.
(b)
Material consistency. Material treatment shall be consistent in all façades and shall be complementary to one another and appropriate for the architectural style.
(c)
Number of façade materials. The minimum number of building materials used on a primary façade and secondary façade shall be two (2), excluding fenestration, trims and decorative elements.
(d)
Change in materials. Changes in material shall generally occur when there is a change in the plane of the façade. The change in material is encouraged to occur on inside corners of the building.
(e)
Wrapping materials around building corners. Brick and stone materials shall wrap around corners to give an appearance of structural function and minimize a veneer appearance.
(f)
Brick and stone veneer. If used, brick and stone veneer shall be mortared to give the appearance of having a structural function.
(g)
Minimum and maximum percentages of specific façade materials.
i.
The minimum percentage of stone and/or brick in a primary façade shall be twenty (20) percent and the minimum percentage of stone and/or brick in a secondary façade shall be ten (10) percent.
ii.
The maximum percentage for stucco in a primary façade shall be forty (40) percent and the maximum percentage for wood panel (including painted or stained lap horizontal siding, vertical board, batten wood siding) shall be forty (40) percent.
iii.
The maximum percentage for stucco in a secondary façade shall be fifty (50) percent and the maximum percentage for wood panel (including painted or stained lap horizontal siding, vertical board, batten wood siding) shall be fifty (50) percent.
(h)
Percentage calculation. The percentage calculation shall be based on exterior walls, excluding fenestration, trims and decorative elements.
(i)
Permissible façade materials. High-quality façade materials, including but not limited to: brick, stone, wood panel (including painted or stained lap horizontal siding, vertical board, batten-wood siding) and stucco.
(j)
Prohibited façade materials. Prohibited façade materials include: untreated concrete block, plywood, unfinished lumber aluminum, textured T1-11, corrugated fiberglass, sheet metal or tin siding and any other materials determined by the City to be of similar nature of effect.
Figure 8.22 — Materials Multifamily
(5)
Colors.
(a)
Intent. The intent of this section is to ensure that colors are harmonious and add to the visual character of the building.
(b)
Prohibited colors and finishes. The following are prohibited on the exterior of any building, which are found by the City to be one or more of the following:
i.
Colors that are garish, gaudy, loud, excessive or ostentatious;
ii.
Colors that constitute a glaring and unattractive contrast to the surrounding buildings or area;
iii.
Colors that fluoresce under ultra-violet (UV) or black light.
iv.
Colors and finishes that are pearlescent or excessively reflective in nature.
(c)
Maximum number of colors. A maximum of three (3) colors may be used on the exterior walls of any building plus two (2) additional colors for trim/cornice work.
(d)
Natural materials. Unpainted materials such as brick and stone do not count as colors.
(6)
Height.
(a)
Building height. The maximum height for multifamily developments shall be forty-five (45) feet in any zoning district within the City. Multifamily developments located within the Downtown Mixed-Use District - Village Core (MUD-VC) maximum height shall comply with Article VI, Exhibit C, Maximum Buildable Heights by Zone.
(D)
Accessory Structures
(1)
Fences and Walls.
(a)
Height.
i.
Fences and walls located in the front yard/setback (excluding retaining and subdivision perimeter walls) shall have a maximum height of three (3) feet and shall observe a minimum setback of two (2) feet from the right-of-way.
ii.
Rear and side yard fences and walls shall have a maximum height of six (6) feet and the minimum setback shall be zero (0).
iii.
Fence and wall posts shall be no more than twelve (12) inches higher than the fence or wall.
iv.
Multifamily perimeter walls and fences shall have a maximum height of six (6) feet.
(b)
Material consistency. Fences and walls shall be constructed with materials that are consistent or complementary to the architecture of the development.
(c)
Permissible wall finishing materials. Permissible wall finishing materials include brick and stone.
(d)
Permissible fence materials. Permissible fence materials include wood, vinyl, anodized or powder-coated aluminum and wrought iron. Materials such as barbed wire, razor wire and chain link are prohibited.
(2)
Service Areas.
(a)
Intent. The intent of this section is to ensure that service areas, loading areas, refuse/recycling collection containers (garbage dumpsters) are located in areas that are not visible from public streets by pedestrians.
(b)
Design requirements for refuse/recycling collection containers garbage dumpsters).
i.
Refuse/recycling collection containers (garbage dumpsters) shall be structurally screened.
ii.
Screening shall be a minimum one (1) foot greater in height than the element being screened.
iii.
Structural screening shall be consistent with the architectural elements, materials, and colors of the principal structure.
iv.
The minimum rear and side setback to refuse/recycling collection containers shall be five (5) feet.
Figure 8.23 — Screening of Service Areas, Multifamily
(3)
Mechanical Equipment.
(a)
Intent. The intent of this section is to ensure that mechanical equipment is located in areas that are not visible from public streets by pedestrians.
(b)
Location. Mechanical equipment shall be placed on the roof, on the side, or in the rear of each building.
(c)
Roof-top equipment design requirements.
i.
Roof-top mechanical equipment shall be completely screened from all ground level views by a parapet wall or other architectural feature, which feature shall be architecturally integrated to the building.
ii.
The parapet screen height shall be at least one (1) foot higher than the mechanical equipment being screened. In exceptional cases, if the applicant cannot meet this requirement, the applicant may propose a different screening height if demonstrated by the line of sight that the equipment is not visible from the pedestrian view, in which case it shall not be considered a deviation.
iii.
Structural screening shall be consistent with the architectural elements, materials and colors of the principal structure. Whenever practicable, these areas and equipment shall be integrated into the main structure.
(d)
Ground-mounted equipment design requirements.
i.
Ground-mounted equipment shall not be visible from public rights-of-way, by pedestrians or adjacent residential properties.
ii.
Screening shall be provided at a minimum one (1) foot greater in height than the area/equipment being screened.
iii.
Structural screening shall be consistent with the architectural elements, materials, and colors of the principal structure. Whenever practicable, these areas and equipment shall be integrated into the main structure.
iv.
The minimum rear and side setbacks for ground-mounted equipment shall be five (5) feet.
Figure 8.24 — Screening of Mechanical Equipment, Multifamily
(4)
Solar Panels.
(a)
Intent. The intent of this section is to allow green building practices by permitting solar panels in multifamily development while keeping the aesthetic character of the building and the development.
(b)
Locational requirements.
i.
Solar panels that are not integrated in the architecture of the façade or roof shall be hidden from sight and shall be treated as mechanical equipment.
ii.
Solar panels and photovoltaic elements that are integrated into the building architecture shall comply with the architecture articulation or roof modulation.
(5)
Other Detached Accessory Structures (pergolas, storage, cabanas, gazebos, detached individual garages, etc.).
(a)
Location. Detached accessory structures for the development shall be located to the rear of the principal structure on multifamily lots, unless they have a decorative purpose such as trellis, pergolas or cabanas, which can be placed on the side of the principal structure.
(b)
Design standards.
i.
Detached accessory structures such as pergolas and cabanas shall provide the following minimum setbacks: front setback: fifteen (15) feet; side setback: five (5) feet; and rear setback: ten (10) feet.
ii.
Detached accessory buildings such as club houses and gyms shall observe the same minimum setbacks as the principal structure.
iii.
The maximum height of a detached accessory structure shall be the same as the principal structure.
(Ord. No. 1647 , § 4, 2-20-17)
(A)
Site Design
(1)
Streets/Alleys/Walkways.
(a)
Intent. The intent of this section is to ensure that development provides internal and external circulation connectivity and safety as may be required to protect the public interest.
(b)
Sidewalks on both sides of a street. Private and public streets within the development shall provide sidewalks on both sides of the public or private street.
(c)
Street connectivity. New streets, as defined by F.S. § 334.03, (public and private) shall feature an integrated pedestrian circulation network within the development and shall be extended and integrated into the existing public street system. Where street connections are not possible, pedestrian and bike paths shall be provided as an alternative, unless demonstrated that such connection is impracticable.
(d)
Gated developments and cul-de-sacs. Gated developments and cul-de-sacs are discouraged. If a project proposes to be gated, the applicant shall submit justification to the Land Use Administrator and the proposal shall be subject to City Council approval, which determination shall be made based upon an evaluation of the public interest and internal orientation and connectivity evaluations.
(e)
Access points. Developments with more than fifty (50) dwelling units or more than thirty thousand (30,000) square feet shall provide a minimum of two (2) access points.
(f)
Minimum widths of streets and rights-of-way. Internal streets (public and private) shall have a minimum width of fifty (50) feet, unless otherwise approved by the City Engineer, based upon sound and generally accepted engineering practices and principles.
(g)
Minimum widths of alleys. Internal alleys shall have a minimum width of sixteen (16) feet of pavement and a total width of twenty (20) feet.
(h)
Minimum widths of sidewalks. Sidewalks shall have a minimum width of five (5) feet clear of vehicle overhangs.
(i)
Walkways between buildings. A walkway shall be provided between building blocks to access common areas.
(2)
Open Space.
(j)
Intent. The intent of this section is to provide a balance between developed areas and undeveloped areas in the City, which is consistent with sound and generally accepted planning and land use practices and principles.
(k)
Minimum open space area. A minimum of twenty-five (25) percent of the total site development shall be dedicated to be open space.
(l)
Location of open spaces and recreational areas (if applicable). Open spaces and recreational areas (if applicable) shall be centrally located and shall be visually and physically connected to the streets. If not possible to provide a centrally located recreational area, justification shall be provided by the applicant and the alternative proposal will be subject to approval by the City Council upon evidence of sound and generally accepted planning and land use practices and principles.
(m)
Design of open spaces and recreational area.
i.
Open space and recreational area (if applicable) are encouraged to be designed to use topographic, natural and/or historic site features to enhance the aesthetics of the site.
ii.
In mixed-use developments where recreational areas are required, elevated terraces may be used for recreational purposes, but they will not count as open space requirements.
(n)
Mini-parks. Mixed-use developments with more than twenty-five (25) residential units shall provide a mini-park in an aggregate amount at a rate of:
i.
Two hundred (200) square feet per dwelling unit for the first fifty (50) dwelling units;
ii.
One hundred and fifty (150) square feet per dwelling unit for additional units above fifty (50) units and up to one hundred (100) dwelling units;
iii.
One hundred (100) square feet per dwelling unit for additional units above one hundred (100) dwelling units.
Figure 8.25 — Open Space and Pedestrian Connections, Mixed-Use
(3)
Landscape.
(a)
Intent. The intent of this section is to preserve and protect existing healthy trees and ensure that new development provides shade and greenery to residents.
(b)
Street trees. A minimum of one (1) large street tree shall be provided for every fifty (50) linear feet of right-of-way, adjacent to a development parcel. Alternatively, a minimum of one (1) medium street tree may be allowed for every thirty (30) linear feet of right-of-way, adjacent to a development parcel, if applicant demonstrates that it is impractical to plant the large street trees..
(c)
Lot trees. The minimum number of required trees for mixed-use development is calculated at a rate of fifteen (15) trees per net buildable acre.
(4)
Lighting.
(a)
Intent. The intent of this section is to ensure safety and convenience for the circulation of people and motor vehicles.
(b)
Areas to be lighted. Areas such as sidewalks, plazas, recreational areas, entrances, garbage disposal areas, and alleys shall be illuminated at night to ensure public safety. Lighting shall be provided at regular intervals to prevent dark pockets.
(c)
Design standards.
i.
Internal development lighting for pedestrian areas shall have a maximum pole height of sixteen (16) feet. Development lighting for vehicular areas shall have maximum pole height of thirty-five (35) feet.
ii.
Lighting fixtures shall be consistent throughout the development and shall complement the architecture of the building as to its style.
iii.
All lighting fixtures in public rights-of-way shall use Light Emitting Diode (LED) lighting.
iv.
Lighting fixtures shall use concealed source fixtures.
v.
Light poles shall have fluted bases.
vi.
Lighting in exclusively pedestrian areas may use illuminated bollards instead of light poles.
vii.
If the applicant proposes an innovative lighting design that does not comply with non-quantifiable standards, the applicant shall provide a justification and the proposal shall be submitted to the City Council for approval based upon an evaluation of the aesthetic of the design and its overall consistency with the proximate architectural features.
Figure 8.26 — Lighting, Mixed-Use
(5)
Guest Parking.
(a)
Intent. The intent of this section is to provide adequate parking for residential guests (if one of the components of the mixed-use is residential) and to prevent adversely impacting proximate areas with overflow parking.
(b)
Guest parking location. Mixed-use development shall accommodate guest parking in a designated common area if one of the components of the mixed-use is residential.
(c)
Guest parking depicted on the plans. The applicant shall depict the guest parking location on the plans if one of the components of the mixed-use is residential.
(d)
Guest parking calculation. The calculation for guest parking shall be zero point two-five (0.25) parking spaces per residential unit.
(6)
Signage.
(a)
Sign designs. Entrance signs (free standing signs or wall signs) shall be complementary to the architecture of the development.
(B)
Building Siting
(1)
Building Orientation.
(a)
Intent. The intent of this section is to orient mixed-use development front entrance towards the public or to private streets, common areas or courtyards (publicly accessible spaces) and to have mixed-use buildings creating a sense of spatial enclosure along streets with buildings forming a "street wall" and defining "outdoor rooms".
(b)
Front entrances. One (1) primary front entrance per mixed-use building unit shall be provided on the primary façade.
(c)
Façade classification.
i.
A façade that has a primary entrance door is a primary façade.
ii.
A façade that faces a public or private street is a primary façade. If the mixed-use building is located on a corner lot that faces two (2) public streets, then both façades facing the streets shall be primary façades.
(d)
Relationships between buildings. Mixed-use buildings shall face each other with a front-to-front or a back-to-back relationship depending on location relative to a street, lane or open space.
(e)
Minimum distance between buildings across each other. If mixed-use buildings face each other in a common area instead of across the street, the minimum distance between buildings across the common area shall be fifty (50) feet.
Figure 8.27 — Building Orientation, Mixed-Use
(a) Buildings facing a courtyard and public streets
(b) Buildings facing two public streets with a visible rear façade
(2)
Lot Size, Width and Setbacks.
(a)
Intent. The intent of this section is to organize the location of mixed-use buildings and accessory structures in relation to the street, to the lot and to other adjacent buildings in order to provide enough space for air circulation, insulation, vegetation, storm water filtration and privacy between building units.
(b)
Lot dimensions. There is no minimum lot width or minimum lot size for mixed-use developments.
(c)
Front setbacks to principal structure. The minimum front setback shall be:
i.
Ten (10) feet for buildings on complete streets; or
ii.
Twenty (20) feet for buildings on non-complete streets;
(d)
Side setbacks to principal structure. The minimum side setback shall be fifteen (15) feet for three (3) story developments and twenty (20) feet for buildings with more than three (3) stories.
(e)
Rear setbacks to principal structures. The minimum rear setback for mixed-use principal buildings shall be twenty (20) feet.
(f)
Architectural elements in the setback. Entry stoops, porches or architectural elements may encroach into the setback area up to five (5) feet.
(g)
Distance between buildings. The minimum distance between buildings internal to a development shall be twenty (20) feet.
Figure 8.28 — Building Spacing, Mixed-Use
(3)
On-site Parking.
(a)
Intent. The intent of this section is to provide adequate parking while minimizing the visibility of the parking area from the street view.
(b)
Minimum number of parking spaces. On-site parking spaces shall be provided based on the following calculation: one point six-five (1.65) parking spaces per multifamily residential unit for the residential component of the mixed-use; plus the minimum parking requirement for the commercial and office components as required for specific uses established in Article XIII, except as provided in Subsection (e).
(c)
Location of surface parking. On-site surface parking shall be located behind the principal building or behind the extension of the line of the primary façade except along arterial roads, where one row of parking may be allowed in the front of the building.
(d)
Charging stations for electric cars. A minimum of one (1) electric vehicle charging station per development requiring more than fifty (50) parking spaces. The charging station shall serve two (2) parking spaces.
(e)
Alternative shared parking. An alternative shared parking calculation for mixed-use development may also be proposed when it is asserted that the different uses may not require the necessity of exclusive use of their parking spaces and may share their parking spaces distributed over different hours of the day. When any land or building is used for two (2) or more categories of uses, the minimum total number of required parking spaces shall be determined by the following procedures:
i.
First, categorize the uses according to the seven (7) categories listed in the use column of Table 8.1.
ii.
Second, add together the minimum required parking for each individual use category, using the ratios set out in Article XIII, Table 13.1: Table of Parking Requirements.
iii.
Third, subtract from each individual sum the number of spaces which are reserved for use by specified individuals or classes of individuals within the use category.
iv.
Fourth, create a shared parking matrix by multiplying the results of the third step by the percentages listed in Table 8.1 for each use category and time period.
v.
Fifth, add together the cells of each of the six (6) vertical columns in the shared parking matrix.
vi.
The minimum parking requirement is the highest sum resulting from the foregoing addition, plus the total number of spaces which are reserved for use by specific individuals or classes of individuals.
vii.
The maximum reduction of required parking using shared parking calculations shall be twenty-five (25) percent.
viii.
A shared parking program must be approved in a binding agreement in a form approved by the City Attorney.
Table 8.1. Shared Parking Calculation
Figure 8.29 — On-site Parking Location, Mixed-Use
(C)
Building Form
(1)
Articulation and Design.
(a)
Intent. The intent of this section is to reduce the apparent size of buildings and create visual interest. Building façades and roofs shall include architectural elements that vary to alleviate the appearance of a large building mass, break up long walls, express the individuality of each building, and enhance the character of the neighborhood/development.
(b)
Architectural elements. Architectural elements and variation shall not be restricted to a single façade. All sides of a building shall display a balanced level of quality and architectural interest consistent with sound and generally accepted development and architectural practices and principles.
(c)
Front entrance articulation. Front entrances shall be clearly defined with the use of architectural features including, but not limited to, porticos, recessed/projected access, stairs, columns, canopies, different materials or treatments.
(d)
Minimum number of articulation elements. The following minimum articulation elements are required:
i.
Primary façade: Three (3) elements
ii.
Secondary façade: Two (2) elements
iii.
Rear façade: One (1) element
iv.
Rear façade visible from a right-of-way, but not fronting a right-of-way: two (2) elements
v.
If the building is placed in a corner of two (2) rights-of-way, an additional corner element is required.
(e)
Articulation elements. Articulation elements include:
i.
Arched, gabled, stepped or decorative parapet with cornice over building entrances, integrated with the building's massing and style.
ii.
Canopies, balconies, patios, porches or porticos, bay windows, steps, ornamental guardrails, pergolas, columns, all of which shall be integrated with the building's massing and style.
iii.
Vertical or horizontal modulation.
iv.
Additional peaked roof forms used as wall articulation.
v.
Overhangs or other roof treatments that provide shade and break the vertical plane, a minimum of three (3) feet deep that cover at least fifty (50) percent of the horizontal length of the façade.
vi.
Arches, arched forms, gallery or arcade that cover at least fifty (50) percent of the horizontal length of the façade.
vii.
Ornamental and structural articulations that are integrated into the building structure, consistent with the building's mass and scale. Vertical architectural treatments shall have a minimum width of twenty (20) inches and a projection or recession of a minimum of twelve (12) inches in depth.
viii.
If a rear façade is visible from a right-of-way but does not front a right-of-way, requiring two (2) articulation elements, enhanced perimeter landscape is permissible as one (1) of the two (2) required articulation elements. The landscaped area shall be a minimum five (5) feet wide and shall include groundcover and shrubs/vegetation that provide dense screening with a mature height of six (6) feet at a minimum, and one (1) understory tree or clusters of three (3) palm trees for each twenty-five (25) feet, or fraction thereof, of the linear building façade.
ix.
Corner articulation elements including any of the above (except viii.) or a vertical wall signage, an associated plaza or common area, and public art.
x.
Any other treatment that, the approving authority determines to clearly and convincingly be consistent with the intent of this section and is consistent with sound and generally accepted land use planning and architectural practices and principles.
(f)
Articulation elements of accessory structures. Separate accessory structures on the site shall have similar and compatible architectural detail, design elements and roof design as the principal structure, consistent with sound and generally accepted architectural practices and principles.
(g)
Application of articulation. Elements utilized to count to satisfy wall articulation requirements shall not be credited as satisfying other design requirements.
Figure 8.30 — Façade Articulation, Mixed-Use
(2)
Roof Modulation.
(a)
Intent. The intent of this section is to ensure that visual interest also applies to roof treatment. Roof forms may be used to identify different functional areas within the building, to provide for additional light to enter the building, to reduce massing, to screen rooftop equipment, and to create movement along the roof line.
(b)
Roof design compatibility. Roofing forms, slopes, details, materials, and overall design shall be compatible with the overall style and character of the buildings.
(c)
Gutters and downspouts. All roofs shall include gutters/downspouts that comply with all of the following:
i.
Drain directly into a cistern, landscaped area or storm drain system.
ii.
Match the trim or body color of the façade.
iii.
Are discreetly located to maximize aesthetics, unless decorative in nature.
(d)
Vent pipes. Vent pipes that are visible from the streets and pedestrian areas shall be painted to match the color of the roof to make them less visible.
(e)
Number and roof modulation elements. The following minimum roof modulation elements are required:
i.
Primary façade: Two (2) elements.
ii.
Secondary façade: One (1) element.
(f)
Roof modulation elements.
i.
Uninterrupted roofline along the eave between roof modulation elements shall be no more than forty (40) feet.
ii.
Decorative parapets that are a minimum of three (3) feet in height above the finished roof.
iii.
Multiple peaks and/or roof planes.
iv.
A sloping roof with an average pitch of 3:12 or greater.
v.
Extension of window or façade elements up into the roof area.
vi.
Distinctive roof forms covering each building mass.
vii.
Same roof form with a different orientation of the ridge elements.
viii.
Same roof form with same orientation, but the roof has a minimum change in elevation of two point five (2.5) feet between each subdivision of the building.
ix.
Any other treatment that the approving authority determines to be consistent with the intent of this Subsection and is consistent with sound and generally accepted land use planning or architectural practices and principles.
Figure 8.31 — Roof Modulation, Mixed-Use
(3)
Fenestration.
(a)
Intent. The intent of this section is to ensure identity and visual interest in mixed-use building design and ensure proper natural light and ventilation to mixed-use development.
(b)
Design standards. Doors, windows, and other openings in a building exterior façade shall comply with the following:
i.
Fenestration elements (doors, windows and openings) shall be appropriately sized for the scale and style of the building.
ii.
Windows, doors and/or openings shall occupy a minimum of thirty (30) percent of the area of the ground-level primary façade or façades that front a street, park, plaza or on-site courtyard, and twenty (20) percent of the ground level of the secondary façades.
iii.
Windows, doors and/or openings shall occupy a minimum of twenty (20) percent of the area of the upper-level primary and secondary façades or façades that front a street, park, plaza or on-site courtyard.
iv.
Windows shall provide both visibility and day-lighting into the building.
v.
Windows shall be vertical in shape (height is at least twenty (20) percent greater than width). Buildings using large amounts of glass shall divide the glass into smaller panels achieving proportions emphasizing verticality.
Figure 8.32 — Examples of Fenestration Elements, Mixed-Use
(4)
Materials.
(a)
Intent. The intent of this section is to use façade materials to provide character and attractiveness to mixed-use building(s). Materials shall be varied and contrasting either to differentiate buildings or parts of buildings
(b)
Material consistency. Material treatment shall be consistent in all façades and shall be complementary to one another and appropriate for the architectural style.
(c)
Number of façade materials. The minimum number of building materials used on a primary façade and secondary façade shall be two (2), excluding fenestration, trims and decorative elements.
(d)
Change in materials. Changes in material shall generally occur when there is a change in the plane of the façade. The change in material shall occur on inside corners of the building.
(e)
Wrapping materials around building corners. Brick and stone materials shall wrap around corners to give an appearance of structural function and minimize a veneer appearance.
(f)
Brick and stone veneer. If used, brick and stone veneer shall be mortared to give the appearance of having a structural function.
(g)
Minimum and maximum percentages of specific façade materials.
i.
The minimum percentage of stone and/or brick in a primary façade shall be twenty (20) percent and the minimum percentage of stone and/or brick in a secondary façade shall be ten (10) percent.
ii.
The maximum percentage for stucco in a primary façade shall be forty (40) percent and the maximum percentage for wood panel (including painted or stained lap horizontal siding, vertical board, batten wood siding) shall be forty (40) percent.
iii.
The maximum percentage for stucco in a secondary façade shall be fifty (50) percent and the maximum percentage for wood panel (including painted or stained lap horizontal siding, vertical board, batten wood siding) shall be fifty (50) percent.
(h)
Percentage calculation. The percentage calculation shall be based on exterior walls, excluding fenestration, trims and decorative elements.
(i)
Permissible façade materials. High-quality façade materials, including but not limited to: brick, stone, wood panel (including painted or stained lap horizontal siding, vertical board, batten-wood siding) and stucco.
(j)
Prohibited façade materials. Prohibited façade materials include: untreated concrete block, plywood, unfinished lumber aluminum, textured T1-11, corrugated fiberglass, sheet metal or tin siding and any other materials determined by the City to be of similar nature of effect.
Figure 8.33 — Façade Materials Mixed-Use
(5)
Colors.
(a)
Intent. The intent of this section is to ensure that colors are harmonious and add to the visual character of the building.
(b)
Prohibited colors and finishes. The following are prohibited on the exterior of any building, which are found by the City to be one or more of the following:
i.
Colors that are garish, gaudy, loud, excessive, or ostentatious;
ii.
Colors that constitute a glaring and unattractive contrast to the surrounding buildings or area;
iii.
Colors that fluoresce under ultra-violet (UV) or black light; or
iv.
Colors and finishes that are pearlescent or excessively reflective in nature.
(c)
Maximum number of colors. A maximum of three (3) colors may be used on the exterior walls of any building, plus two (2) additional colors for trim/cornice work.
(d)
Natural materials. Unpainted materials such as brick and stone do not count as colors.
(6)
Height.
(a)
Building height. The maximum height for mixed-use developments in all zoning districts shall be forty-five (45) feet. Mixed-use developments located along development corridors, as defined by the Comprehensive Plan, shall have a maximum height of sixty (60) feet, except those located within the Downtown Mixed-Use District—Village Core (MUD-VC), which height shall comply with Article VI, Exhibit C, Maximum Buildable Heights by Zone.
(D)
Accessory Structures
(1)
Fences and Walls.
(a)
Height.
i.
Fences and walls located in the front setback (excluding retaining and development walls) shall have a maximum height of three (3) feet. Rear and side yard fences and walls shall have a maximum height of six (6) feet. Fence and wall posts maximum height shall not exceed twelve (12) inches over the fence or wall height.
ii.
Mixed-use perimeter walls shall have a maximum height of six (6) feet.
(b)
Material consistency. Fences and walls shall be constructed with materials that are consistent or complementary to the architecture of the development.
(c)
Permissible wall finishing materials. Permissible wall finishing materials include: brick and stone.
(d)
Permissible/prohibited fence materials. Permissible fence materials include wood, vinyl, anodized or powder-coated aluminum and wrought iron. Materials such as barbed wire, razor wire and chain link are prohibited.
(2)
Service Areas.
(a)
Intent. The intent of this section is to ensure that service areas, loading areas, refuse/recycling collection containers (garbage dumpsters) are located in areas that are not visible from public streets by pedestrians.
(b)
Design requirements for refuse/recycling collection containers garbage dumpsters).
i.
Refuse/recycling collection containers (garbage dumpsters) shall be screened.
ii.
Screening shall be a minimum one (1) foot greater in height than the element being screened.
iii.
Structural screening shall be consistent with the architectural elements, materials, and colors of the principal structure and shall completely obstruct the view of the element being screened.
iv.
Whenever practicable, these areas and equipment shall be integrated into the main structure.
v.
The minimum rear and side setback to refuse/recycling collection containers shall be five (5) feet.
Figure 8.34 — Screening of Service Areas, Mixed-Use
(3)
Mechanical Equipment.
(a)
Intent. The intent of this section is to ensure that mechanical equipment is located in areas that are not visible from public streets by pedestrians.
(b)
Location. Mechanical equipment shall be placed on the roof, on the side, or in the rear of each building.
(c)
Roof-top equipment design requirements.
i.
Roof-top mechanical equipment shall be completely screened from all ground level views by a parapet wall or other architectural feature, which feature shall be architecturally integrated to the building.
ii.
The parapet screen height shall be at least one (1) foot higher than the mechanical equipment being screened. In exceptional cases, if the applicant cannot meet this requirement, the applicant may propose a different screening height if demonstrated by the line of sight that the equipment is not visible from the pedestrian view, in which case it shall not be considered a deviation.
iii.
Structural screening shall be consistent with the architectural elements, materials and colors of the principal structure. Whenever practicable, these areas and equipment shall be integrated into the main structure.
(d)
Ground-mounted equipment design requirements.
i.
Ground-mounted equipment shall not be visible from public rights-of-way, by pedestrians or adjacent residential properties.
ii.
Screening shall be provided at a minimum one (1) foot greater in height than the area/equipment being screened.
iii.
Structural screening shall be consistent with the architectural elements, materials, and colors of the principal structure. Whenever practicable, these areas and equipment shall be integrated into the main structure.
iv.
The minimum rear and side setback to ground-mounted equipment shall be five (5) feet.
Figure 8.35 — Screening of Mechanical Equipment, Mixed-Use
(4)
Solar Panels.
(a)
Intent. The intent of this section is to allow green building practices by permitting solar panels in mixed-use development while keeping the aesthetic character of the building and the development.
(b)
Location requirements.
i.
Solar panels that are not integrated in the architecture of the façade or roof shall be hidden from sight and shall be treated as mechanical equipment.
ii.
Solar panels and photovoltaic elements that are integrated into the building architecture shall comply with the architecture articulation and/or roof elements.
(5)
Other Detached Accessory Structures (pergolas, cabanas, gazebos, garages, etc.).
(a)
Location. Detached accessory structures shall be located to the rear of the principal structure on mixed-use developments, unless they have a decorative purpose such as trellis, pergolas, cabanas and etc., which can be placed at the side of the principal structure.
(b)
Design standards.
i.
Detached accessory structures shall be consistent with the architectural elements, materials, and colors of the principal structure.
ii.
Detached accessory structure for the development shall be setback a minimum of five (5) feet from the rear, and a minimum of five (5) feet from the side property line.
iii.
In the case of a corner lot, the detached accessory structure shall be setback from the street-side property line no less than the minimum setback for the principal structure.
iv.
The maximum height of a detached accessory structure shall be twelve (12) feet. If any point of a detached accessory structure exceeds twelve (12) feet in height, the entire structure must be setback an additional two (2) feet for every one (1) foot of height which exceeds twelve (12) feet.
(Ord. No. 1647 , § 4, 2-20-17)
(A)
Site Design
(1)
Streets/Alleys/Walkways.
(a)
Intent. The intent of this section is to ensure that the development provides internal and external circulation connectivity and safety as may be required to protect the public interest.
(b)
Sidewalks on both sides of a street. Private and public streets within the development shall provide sidewalks on both sides of the public or private street.
(c)
Street connectivity. New streets, as defined by F.S. § 334.03, (public and private) shall feature an integrated pedestrian circulation network within the development and shall be extended and integrated into the existing public street system. Where street connections are not possible, pedestrian and bike paths shall be provided as an alternative, unless demonstrated that such connection is impracticable.
(d)
Access points. Commercial and Office development with more than thirty thousand (30,000) square feet of building footprint shall provide a minimum of two (2) access points.
(e)
Minimum widths of streets and rights-of-way. Internal streets (public and private) shall have a minimum width of fifty (50) feet, unless otherwise approved by the City Engineer, based upon sound and generally accepted engineering practices and principles.
(f)
Minimum widths of alleys. Internal alleys shall have a minimum width of sixteen (16) feet of pavement and a total width of twenty (20) feet.
(g)
Minimum width of sidewalks. Sidewalks shall have a minimum width of five (5) feet clear of vehicle overhangs.
(h)
Walkways between buildings. A walkway shall be provided between building blocks to access common areas.
(i)
Cross-access with adjoining commercial/office areas. Cross-access with adjoining commercial/office areas is required whenever possible and shall be implemented by means of a cross-access easement agreement with adjoining neighbors in a form approved by the City Attorney.
Figure 8.36 — Pedestrian Connections, Office/Commercial
(a)
(b)
(2)
Open Space and Pedestrian Amenities.
(a)
Intent. The intent of this section is to provide a balance between developed areas and undeveloped areas in the City, which is consistent with sound and generally accepted planning and land use practices and principles.
(b)
Minimum open space. A minimum of twenty-five (25) percent of the total site development shall be dedicated to be open space.
(c)
Design of pedestrian amenities.
i.
Pedestrian amenities such as landscaped patios and plazas are encouraged in all developments and are required for developments with an individual building exceeding thirty thousand (30,000) square feet in size.
ii.
The minimum area for each of the landscaped patio or plaza shall be four hundred (400) square feet.
Figure 8.37 — Open Space and Plazas, Office/Commercial
(3)
Landscape.
(a)
Intent. The intent of this section is to preserve and protect existing healthy trees and ensure that the new development provides shade and greenery.
(b)
Street trees. A minimum of one (1) large street tree shall be provided for every fifty (50) linear feet of right-of-way, adjacent to a development parcel. Alternatively, a minimum of one (1) medium street tree may be allowed for every thirty (30) linear feet of right-of-way, adjacent to a development parcel, if applicant demonstrates that it is impractical to plant the large street trees.
(c)
Lot trees. The minimum number of required trees for office and commercial development is calculated at a rate of 15 trees per net buildable acre for office and 12 trees per net buildable acre for commercial.
(4)
Lighting.
(a)
Intent. The intent of this section is to ensure safety and convenience for the circulation of people and motor vehicles.
(b)
Areas to be lighted Areas such as sidewalks, plazas, entrances, garbage disposal areas, alleys shall be illuminated at night to ensure public safety. Lighting shall be provided at regular intervals to prevent dark pockets.
(c)
Design standards.
i.
Internal development lighting for pedestrian areas shall have a maximum pole height of sixteen (16) feet. Development lighting for vehicular areas shall have a maximum pole height of thirty-five (35) feet.
ii.
Lighting fixtures shall be consistent throughout the development and shall complement the architecture of the building as to its style.
iii.
All lighting fixtures in public rights-of-way shall use Light Emitting Diode (LED) lighting.
iv.
Lighting fixtures shall use concealed source fixtures.
v.
Light poles shall have fluted bases.
vi.
Lighting in exclusively pedestrian areas may use illuminated bollards instead of light poles.
vii.
If the applicant proposes an innovative lighting design that does not comply with non-quantifiable standards, the applicant shall provide a justification and the proposal shall be submitted to the City Council for approval based upon an evaluation of the aesthetic of the design and its overall consistency with the proximate architectural features.
Figure 8.38 — Lighting Office/Commercial
(5)
Signage.
(a)
Sign designs. Permanent signs, such as freestanding signs, wall signs, large, projecting signs, etc., shall be complementary to the architecture of the development.
(B)
Building Siting
(1)
Building Orientation.
(a)
Intent. The intent of this section is to orient the development front entrance towards the public or to private street and to have office and commercial buildings creating a sense of spatial enclosure along streets with buildings forming a "street wall" and defining "outdoor rooms".
(b)
Front entrances. One (1) primary front entrance per office/commercial building shall be provided on the primary façade.
(c)
Façade classification.
i.
A façade that has a primary entrance door is a primary façade.
ii.
A façade that faces a public or private street is a primary façade. If a building is located in a corner lot that faces two (2) public streets, then both façades facing the streets shall be primary façades.
(d)
Relationship between buildings. When consistent with Section 8.7(B)(1)(a) and when a development has several buildings, the buildings shall face each other with a front-to-front or a back-to-back relationship depending on location relative to a street, lane or open space.
(e)
Minimum distance between buildings' primary façades across from each other. If the primary façade of office/commercial buildings face from each other in a common area instead of across the street, the minimum distance between buildings across the common area shall be fifty (50) feet.
Figure 8.39 — Building Orientation, Office/Commercial
(2)
Lot Size, Width and Setbacks.
(a)
Intent. The intent of this section is to organize the location of office, commercial buildings and accessory buildings in relation to the street, to the lot and to other adjacent buildings in order to provide enough space for air circulation, insulation, vegetation, storm water filtration and privacy between building units.
(b)
Lot dimensions. There is no minimum lot width or minimum lot size for office and commercial development.
(c)
Setbacks to principal structure. The minimum setbacks are the setbacks established in Section 4.12, Table 4.2: Table of Lot Use Regulations; Section 6.3, Table 6.2: Building Setbacks; Section 6.4(F)(4)(b), Setbacks; and Section 6.4(G)(4)(c), Setbacks, according to the specific zoning district.
(d)
Detached garages and detached accessory buildings.
i.
Detached garages and detached accessory buildings shall be located behind the main principal buildings and concealed from the right-of-way as much as practicable, except as provided in Section 8.7(D)(5)(a).
ii.
The minimum rear and side setbacks for detached garages and accessory buildings shall be ten (10) feet.
(e)
Architectural elements in the setbacks. Entry stoops, porches or architectural elements may encroach into the setback area up to five (5) feet.
(f)
Distance between buildings. The minimum distance between buildings internal to a development shall be fifteen (15) feet, except as provided in Section 8.7(B)(1)(e).
(3)
On-site Parking.
(a)
Intent. The intent of this section is to provide adequate parking while minimizing the visibility of parking area from the street view.
(b)
Location of surface parking.
i.
On-site surface parking shall be placed behind the buildings, except as provided in ii.
ii.
One row of parking is allowed in the front of the building along arterial roads.
iii.
Ancillary structured garages shall be placed behind or below the building.
(c)
Minimum number of parking spaces. On-site minimum parking requirement is provided for specific uses in Article XIII, Table 13.1, Table of Parking Requirements and Article VI, Table 6.5, Off-Street Parking Requirements.
(d)
Charging stations for electric cars. A minimum of one (1) electric vehicle charging station per development requiring more than fifty (50) parking spaces. The charging station shall serve two (2) parking spaces.
(C)
Building Form.
(1)
Massing.
(a)
Intent. The intent of this section is to encourage human scale elements in building design, and to reduce the mass of large buildings. Breaks in mass are encouraged to relate to structural systems and the organization of interior space.
(b)
Maximum footprint of individual buildings. The maximum footprint for any individual building in a parcel proposed for development shall be seventy-five thousand (75,000) square feet.
(c)
Massing requirements. The requirement for the subdivision of masses/volumes in a building shall apply according to the standards established in Table 8.2.
Table 8.2: Massing Standards
(d)
Massing subdivision elements. When massing subdivision is required per Table 8.2, the requirement shall be satisfied by choosing the required number of mass subdivision elements from the following:
i.
Setbacks. Setbacks may occur above the ground or at the second floor level. If a building is two (2) floors in height, the floor area of the second floor building mass shall be no more than ninety-five (95) percent of the floor area at the first floor. If a building is three (3) floors or more in height, the total combined area of the second and third floors shall be no more than one hundred ninety (190) percent of the floor area of the first floor.
Figure 8.40 — Massing Setbacks, Office/Commercial
ii.
Offsets. Offsets shall be a minimum of ten (10) feet to break up the foundation line to define each mass. The portion projected or recessed shall extend up to the roof eaves.
Figure 8.41 — Massing Offsets, Office/Commercial
iii.
Roof Form Variations. Distinctive volumes shall be defined by roof forms through the use of the following options:
a.
Distinctive roof forms covering each building mass.
b.
Same roof form with a different orientation of the ridge elements; or
c.
Same roof form with same orientation, but the roof has a minimum change in elevation of two point five (2.5) feet between each subdivision.
Figure 8.42 — Massing Roof Form, Office/Commercial
iv.
Façade Length and Variations. Variations in the façade shall be as follows:
a.
Façades greater than sixty (60) feet, but less than one hundred and twenty (120) feet in length must exhibit a prominent shift in the façade of the structure so that no greater than seventy-five (75) percent of the length of the building façade appears unbroken. Each shift shall be in the form of either a ten (10) foot change in building façade alignment or a ten (10) foot change in roof line height, or a combined change in façade and roof line totaling ten (10) feet.
b.
Façades that exceed one hundred and twenty (120) feet in length shall provide a prominent shift in the mass of the structure at each one hundred and twenty (120) foot interval, or less if the developer desires, reflecting a change in function or scale. The shift shall be in the form of either a fifteen (15) foot change in building façade alignment or a fifteen (15) foot change in roof line. A combination of both a roof line and façade change is encouraged and to that end, if the combined change occurs at the same location in the building plan, a fifteen (15) foot total change will be considered as full compliance.
c.
The façade length and variation requirement apply to primary and secondary façades.
Figure 8.43 — Massing Façade Variations Office/Commercial
v.
Additional façade wall articulation elements: façades that exceed one hundred and twenty (120) feet in length shall provide additional wall articulations as follows:
a.
Primary Façades: One (1) additional wall articulation;
b.
Secondary Façades: One (1) additional wall articulation;
c.
Rear Façades: One (1) additional wall articulation.
(e)
Application of massing. Elements utilized to count to satisfy massing requirements shall not be credited as satisfying other design requirements.
(2)
Articulation and Design.
(a)
Intent. The intent of this section is to reduce the apparent size of buildings and create visual interest. Building façades and roofs shall include architectural elements that vary to alleviate the appearance of a large building mass, break up long walls, express the individuality of each building, and enhance the character of the neighborhood/development.
(b)
Architectural elements. Architectural elements and variation shall not be restricted to a single façade. All sides of a building shall display a balanced level of quality and architectural interest, in accordance with sound and generally accepted development and architectural practices and principles.
(c)
Front entrance articulation. Front entrances shall be clearly defined with the use of architectural features including, but not limited to, porticos, recessed/projected access, stairs, columns, canopies, different materials or treatments.
(d)
Minimum number of articulation elements. The following minimum articulation elements are required:
i.
Primary façade: Three (3) elements;
ii.
Secondary façade: Two (2) elements;
iii.
Rear façade: One (1) element;
iv.
Rear façade visible from a right-of-way, but not fronting a right-of-way: two (2) elements
v.
If the building is placed in a corner of two (2) rights-of-way, an additional corner element is required.
(e)
Articulation elements.
i.
Arched, gabled, stepped or decorative parapet with cornice over building entrances, integrated with the building's massing and style.
ii.
Canopies, balconies, patios, porches or porticos, bay windows, steps, ornamental guardrails, pergolas, columns, all of which shall be integrated with the building's massing and style in quantity and proportion.
iii.
Vertical or horizontal modulation.
iv.
Additional peaked roof forms used as wall articulation.
v.
Overhangs or other roof treatments that provide shade and break the vertical plane, a minimum of three (3) feet deep that cover at least fifty (50) percent of the horizontal length of the façade.
vi.
Arches, arched forms, gallery or arcade that cover at least fifty (50) percent of the horizontal length of the façade.
vii.
Ornamental and structural articulations that are integrated into the building structure, consistent with the building's mass and scale. Vertical architectural treatments shall have a minimum width of twenty (20) inches and a projection or recession of a minimum of twelve (12) inches in depth.
viii.
If a rear façade is visible from a right-of-way but does not front a right-of-way, requiring two (2) articulation elements, enhanced perimeter landscape is permissible as one (1) of the two (2) required articulation elements. The landscaped area shall be a minimum five (5) feet wide and shall include groundcover and shrubs/vegetation that provide dense screening with a mature height of six (6) feet at a minimum, and one (1) understory tree or clusters of three (3) palm trees for each twenty-five (25) feet, or fraction thereof, of the linear building façade.
ix.
Corner articulation elements including any of the above (except item viii.) or a vertical wall signage, an associated plaza or common area, public art.
x.
Any other treatment that, the approving authority determines to clearly and convincingly be consistent with the intent of this section and is consistent with sound and generally accepted land use planning practices and principles.
(f)
Articulation elements of accessory structures. Separate accessory structures on the site shall have similar and compatible architectural detail, design elements and roof design as the principal structure, consistent with sound and generally accepted architectural practices and principles.
(g)
Application of articulation. Elements utilized to count to satisfy wall articulation requirements shall not be credited as satisfying other design requirements.
Figure 8.44 — Building Articulation Office/Commercial
(3)
Roof Modulation.
(a)
Intent. The intent of this section is to ensure that visual interest also applies to roof treatment. Roof forms may be used to identify different functional areas within the building, to provide for additional light to enter the building, to reduce massing, to screen rooftop equipment, and to create movement along the roof line.
(b)
Roof design compatibility. Roofing forms, slopes, details, materials and overall design shall be compatible with the overall style, mass, scale and character of the buildings.
(c)
Gutters and downspouts. All roofs shall include gutters/downspouts that that comply with all of the following:
i.
Drain directly into a cistern, landscaped area or storm drain system.
ii.
Match the trim or body color of the façade.
iii.
Are discreetly located to maximize aesthetics, unless decorative in nature.
(d)
Vent pipes. Vent pipes that are visible from the streets by pedestrians shall be painted to match the color of the roof to make them less visible.
(e)
Number of roof modulation elements.
i.
Primary façade roofline: Two (2) elements.
ii.
Secondary façade roofline: One (1) element.
(f)
Roof modulation elements.
i.
Uninterrupted roofline along the eave between roof modulation elements shall be no more than forty (40) feet.
ii.
Decorative parapets that are a minimum of three (3) feet in height above the finished roof.
iii.
Multiple peaks and/or roof planes.
iv.
A sloping roof with an average pitch of 3:12 or greater.
v.
Extension of window or façade elements up into the roof area.
vi.
Distinctive roof forms covering each building mass.
vii.
Same roof form with a different orientation of the ridge elements.
viii.
Same roof form with same orientation, but the roof has a minimum change in elevation of two point five (2.5) feet between each subdivision of the building.
ix.
Any other treatment that the approving authority determines to be consistent with the intent of this Subsection and is consistent with sound and generally accepted land use planning or architectural practices and principles.
Figure 8.45 — Roof Modulation, Office/Commercial
(4)
Fenestration.
(a)
Intent. The intent of this section is to ensure identity and visual interest in office and commercial building design and ensure proper natural light and ventilation to the development building.
(b)
Design standards. Doors, windows, and other openings in a building exterior façade shall comply with all of the following:
i.
Fenestration elements (doors, windows and openings) shall be appropriately sized for the scale and style of the building on which they are located.
ii.
Windows, doors and/or openings shall occupy a minimum of thirty (30) percent of the area of the ground-level primary façade or façades that front a street, park, plaza or on-site courtyard, and twenty (20) percent of the ground level of the secondary façades.
iii.
Windows, doors and/or openings shall occupy a minimum of twenty (20) percent of the area of the upper-level primary and secondary façades or façades that front a street, park, plaza or on-site courtyard.
iv.
Windows shall provide both visibility and day-lighting into the building.
v.
Windows shall be vertical in shape (height is at least twenty (20) percent greater than width). Buildings using large amounts of glass shall divide the glass into smaller panels achieving proportions emphasizing verticality.
Figure 8.46 — Fenestration percentage calculation, Office/Commercial
Figure 8.47 — Fenestration, Office/Commercial
(5)
Materials.
(a)
Intent. The intent of this section is to use façade materials to provide character and attractiveness to the office and commercial building(s). Materials shall be varied and contrasting either to differentiate buildings or parts of buildings.
(b)
Material consistency. Material treatment shall be consistent in all façades and shall be complementary to one another and appropriate for the architectural style.
(c)
Number of façade materials. The minimum number of building materials used on a primary façade and secondary façade shall be two (2), excluding fenestration, trims and decorative elements.
(d)
Change in materials. Changes in material shall generally occur when there is a change in the plane of the façade. The change in material shall occur on inside corners of the building
(e)
Wrapping materials around building corners. Brick and stone materials shall wrap around corners to give an appearance of structural function and minimize a veneer appearance.
(f)
Brick and stone veneer. If used, brick and stone veneer shall be mortared to give the appearance that they have a structural function.
(g)
Minimum and maximum percentages of specific façade materials.
i.
The minimum percentage of stone and/or brick in a primary façade shall be twenty (20) percent and the minimum percentage of stone and/or brick in a secondary façade shall be ten (10) percent.
ii.
The maximum percentage for stucco in a primary façade shall be forty (40) percent and the maximum percentage for wood panel (including painted or stained lap horizontal siding, vertical board, batten wood siding) shall be forty (40) percent.
iii.
The maximum percentage for stucco in a secondary façade shall be fifty (50) percent and the maximum percentage for wood panel (including painted or stained lap horizontal siding, vertical board, batten wood siding) shall be fifty (50) percent.
(h)
Percentage calculation. The percentage calculation shall be based on exterior walls, excluding fenestration, trims and decorative elements.
Figure 8.48 — Materials Percentage Calculation
Figure 8.48 — Materials Percentage Calculation
(i)
Permissible façade materials. High-quality façade materials, including but not limited to: brick, stone, wood panel (including painted or stained lap horizontal siding, vertical board, batten-wood siding) and stucco.
(j)
Prohibited façade materials. Prohibited façade materials include: untreated concrete block, plywood, unfinished lumber aluminum, textured T1-11, corrugated fiberglass, sheet metal or tin siding and any other materials determined by the City to be of similar nature or effect.
Figure 8.49 — Materials Office/Commercial
(6)
Colors.
(a)
Intent. The intent of this section is to ensure that colors are harmonious and add to the visual character of the building.
(b)
Prohibited colors and finishes. The following are prohibited on the exterior of any building, which are found by the City to be one or more of the following:
i.
Colors that are garish, gaudy, loud, excessive, or ostentatious;
ii.
Colors that constitute a glaring and unattractive contrast to the surrounding buildings or area;
iii.
Colors that fluoresce under ultra-violet (UV) or black light;
iv.
Colors and finishes that are pearlescent or excessively reflective in nature.
(c)
Maximum number of colors. A maximum of three (3) colors may be used on the exterior walls of any building, plus two (2) additional colors for trim/cornice work.
(d)
Natural materials. Unpainted materials such as brick and stone do not count as colors.
(7)
Height.
(a)
Building height. The maximum height for office/commercial developments in all zoning districts shall be forty-five (45) feet. Office/commercial developments located along development corridors, as defined by the Comprehensive Plan, shall have a maximum height of sixty (60) feet, except those located within the Downtown Mixed-Use District—Village Core (MUD-VC), which height shall comply with Article VI, Exhibit C, Maximum Buildable Heights by Zone.
(D)
Accessory Structures.
(1)
Fences and Walls.
(a)
Height.
i.
Fences and walls located in the front yard/setback (excluding retaining and subdivision walls) shall have a maximum height of three (3) feet. Rear and side yard fences and walls shall have a maximum height of six (6) feet and the setback shall be zero (0). Fence and wall posts shall be no more than twelve (12) inches higher than the fence or wall.
ii.
Office and Commercial perimeter walls and fences shall have a maximum height of six (6) feet.
(b)
Material consistency. Fences and walls shall be constructed with materials that are consistent or complementary to the architecture of the development.
(c)
Permissible wall finishing materials. Permissible wall finishing materials include: brick and stone.
(d)
Permissible fence materials. Permissible fence materials include wood, vinyl, anodized or powder-coated aluminum and wrought iron. Materials such as barbed wire, razor wire and chain link are prohibited.
(2)
Service Areas.
(a)
Intent. The intent of this section is to ensure that service areas, loading areas, refuse/recycling collection containers (garbage dumpsters) shall be enclosed and shall be located in areas that are not visible from public streets by pedestrians.
(b)
Screening requirements for refuse/recycling collection containers (garbage dumpsters).
i.
Refuse/recycling collection containers (garbage dumpsters) shall be structurally screened.
ii.
Screening shall be a minimum one (1) foot greater in height than the element being screened.
iii.
Structural screening shall be consistent with the architectural elements, materials, and colors of the principal structure.
iv.
Whenever practicable, these areas and equipment shall be integrated into the main structure.
Figure 8.50 — Service Areas & Mechanical Equipment, Office/Commercial
(3)
Mechanical Equipment.
(a)
Intent. The intent of this section is to ensure that mechanical equipment is located in areas that are not visible from public streets by pedestrians.
(b)
Location. Mechanical equipment shall be placed on the roof, on the side, or in the rear of each building.
(c)
Roof-top mechanical equipment screening requirements.
i.
Roof-top mechanical equipment shall be completely screened from all ground level views by a parapet wall or other architectural feature, which feature shall be architecturally integrated to the building.
ii.
The parapet screen height shall be at least one (1) foot higher than the mechanical equipment being screened. In exceptional cases, if the applicant cannot meet this requirement, the applicant may propose a different screening height if demonstrated by the line of sight that the equipment is not visible from the pedestrian view, in which case it shall not be considered a deviation.
iii.
Structural screening shall be consistent with the architectural elements, materials and colors of the principal structure. Whenever practicable, these areas and equipment shall be integrated into the main structure.
(d)
Ground-mounted equipment screening requirements.
i.
Ground-mounted equipment shall not be visible from public rights-of-way, by pedestrians or adjacent residential properties.
ii.
Screening shall be provided at a minimum one (1) foot greater in height than the area/equipment being screened.
iii.
Structural screening shall be consistent with the architectural elements, materials, and colors of the principal structure. Whenever practicable, these areas and equipment shall be integrated into the main structure.
(4)
Solar Panels.
(a)
Intent. The intent of this section is to allow green building practices by permitting solar panels in office and commercial development while keeping the aesthetic character of the building and the development.
(b)
Location requirements.
i.
Solar panels that are not integrated in the architecture of the façade or roof shall be hidden from sight and shall be treated as mechanical equipment.
ii.
Solar panels and photovoltaic elements that are integrated into the building architecture shall comply with the architecture articulation and/or roof elements.
(5)
Other Detached Accessory Structures (pergolas, cabanas, gazebos, etc.).
(a)
Location. Detached accessory structures shall be located to the rear of the principal structure on office and commercial developments, unless they have a decorative purpose such as trellis, pergolas, cabanas and etc., which can be placed on the side of the principal structure.
(b)
Design standards. Detached accessory structures shall be consistent with the architectural elements, materials, and colors of the principal structure.
(Ord. No. 1647 , § 4, 2-20-17)
(A)
Site Design
(1)
Streets/Alleys/Walkways/Access.
(a)
Intent. The intent of this section is to ensure that development provides internal and external circulation connectivity and safety as may be required to protect the public interest and to minimize visual and physical impacts of standalone or accessory parking structures, on the pedestrian experience and on the streetscape.
(b)
Sidewalks on both sides of a street. Private and public streets within the development shall provide sidewalks on both sides of the public or private street.
(c)
Street connectivity. New streets, as defined by F.S. § 334.03, (public and private) shall feature an integrated pedestrian circulation network within the development and shall be extended and integrated into the existing public street system.
(d)
Access points.
i.
Parking garages shall be accessed from a local street or alley.
ii.
The number of access points shall be determined during the review.
iii.
Access points shall be well signalized to minimize impacts of parking garage entrances on major pedestrian activity zones.
iv.
Parking garages are encouraged not be constructed immediately adjacent to designated arterial and collector roadways, unless that there is enough space to provide for the required stacking.
Figure 8.51 — Access Points, Parking Garages
(e)
Minimum widths of streets and rights-of-way.
i.
Internal streets (public and private) shall have a minimum width of fifty (50) feet, unless otherwise approved by the City Engineer, based upon sound and generally accepted engineering practices and principles
ii.
Mechanical garages shall be prohibited.
(f)
Minimum widths of alleys. Internal alleys shall have a minimum width of sixteen (16) feet of pavement and a total width of twenty (20) feet.
(g)
Minimum widths of sidewalks. Sidewalks shall have a minimum width of five (5) feet clear of vehicle overhangs.
(2)
Open Space.
(a)
Intent. The intent of this section is to provide a well-planned balance between developed areas and undeveloped areas in the City and ensure that the publicly accessible open space serves as focal point and an organizing feature of the site.
(b)
Minimum open space area. A minimum of twenty-five (25) percent of the total site development shall be dedicated to be open space, except when located within the Downtown District, which shall comply with standards established in Article VI.
(c)
Design of open spaces. Open space are encouraged to be designed to use topographic, natural and or historic site features, as may be available on the property.
(3)
Landscape.
(a)
Intent. The intent of this section is to preserve and protect existing healthy trees and ensure that new development provides shade and greenery to residents.
(b)
Street trees. A minimum of one (1) large street tree shall be provided for every fifty (50) linear feet of right-of-way, adjacent to a development parcel. Alternatively, a minimum of one (1) medium street tree may be allowed for every thirty (30) linear feet of right-of-way, adjacent to a development parcel, if applicant demonstrates that it is impractical to plant the large street trees.
(c)
Lot trees. The minimum number of required trees for parking garage development is calculated at a rate of fifteen (15) trees per net buildable.
(4)
Lighting.
(a)
Intent. The intent of this section is to ensure safety and convenience for the circulation of people and motor vehicles.
(b)
Areas to be lighted. Areas such as sidewalks, plazas, entrances, garbage disposal areas, and alleys shall be illuminated at night to ensure public safety. Lighting shall be provided at regular intervals to prevent dark pockets.
(c)
Design standards.
i.
Internal development lighting for pedestrian areas shall have a maximum pole height of sixteen (16) feet. Development lighting for non-pedestrian areas shall have a maximum pole height of thirty-five (35) feet.
ii.
Lighting fixtures shall be consistent throughout the development and shall complement the architecture of the building as to its style.
iii.
All lighting fixtures in public rights-of-way shall use LED lighting.
iv.
Lighting fixtures shall use concealed source fixtures.
v.
Light poles shall have fluted bases.
vi.
Lighting in exclusively pedestrian areas may use illuminated bollards instead of light poles.
vii.
Lighting within the structure shall not spillover the adjacent pedestrian realm and adjacent properties.
viii.
If the applicant proposes an innovative lighting design that does not comply with non-quantifiable standards, a justification shall be provided and shall be considered by the City Council for approval.
Figure 8.52 — Lighting Parking Garages
(5)
Signage.
(a)
Sign designs. Entrance signs (free standing signs or wall signs) shall be complementary to the architecture of the development.
(B)
Building Siting
(1)
Building Orientation.
(a)
Intent. The intent of this section is to orient the parking garage development to cause the least impact on pedestrian activity and to have parking garage buildings creating a sense of spatial enclosure along streets with buildings forming a "street wall" and defining "outdoor rooms".
(b)
Front entrances.
i.
No more than two parking garage entrances/exits may be located on a single block frontage.
ii.
Pedestrian entrances/exits to parking garages shall be directly from the street, unless the structure is part of a development that provides access directly to and from other building uses.
(c)
Façade classification.
i.
A façade that has a primary entrance door is a primary façade.
ii.
A façade that faces a public or private street is a primary façade.
(d)
Location of accessory structured parking garages. If structured parking garages are accessory to an existing development they shall be located behind the principal buildings or on the same building, below or above the principal uses.
Figure 8.53 — Building Orientation, Parking Garages
(2)
Lot Size, Width and Setbacks.
(a)
Intent. The intent of this section is to organize the location of parking garages in relation to the street, to the lot and to other adjacent buildings in order to provide enough space for air circulation, insulation, vegetation, storm water filtration and privacy between building units.
(b)
Lot dimensions. There is no minimum lot width or minimum lot size for parking garages.
(c)
Setbacks. The minimum setbacks are the setbacks established in Section 4.12, Table 4.2, Table of Lot Use Regulations; Section 6.3, Table 6.2, Building Setbacks; Section 6.4(F)(4)(b), Setbacks; and Section 6.4(G)(4)(c), Setbacks, according to the specific zoning district.
(3)
Parking Requirements.
(a)
Charging stations for electric cars. A minimum of one (1) electric vehicle charging station per development requiring more than fifty (50) parking spaces. The charging station shall serve two (2) parking spaces.
(C)
Building Form
(1)
Articulation and Design.
(a)
Intent. The intent of this section is to reduce the apparent size of buildings and create visual interest. Building façades and roofs shall include architectural elements that vary to alleviate the appearance of a large building mass, break up long walls, express the individuality of each building, and enhance the character of the neighborhood/development.
(b)
Architectural elements.
i.
Architectural elements and variation shall not be restricted to a single façade. All sides of a building shall display a balanced level of quality and architectural interest, in accordance with sound and generally accepted development and architectural practices and principles.
ii.
Parking structures that are accessory buildings shall be designed to complement and be compatible with the architectural character, materials, and colors of the overall development.
iii.
Parking structure façades shall not allow ramps to be visible from adjacent public rights-of-way, private streets, and publicly accessible open space and plazas.
iv.
Parking garages that have façades that are hidden/enclosed by surrounding buildings may be exempted from the requirements of Section 8.8(C) if demonstrated that such façades are not visible from adjacent public rights-of-way, private streets, and publicly accessible open space and plazas.
(c)
Front entrance articulation.
i.
Front entrances shall be clearly defined with the use of architectural features including, but not limited to, porticos, recessed/projected access, stairs, columns, canopies, different materials or treatments.
ii.
One (1) pedestrian entrance per building unit shall be provided on the primary façade.
(d)
Minimum number of articulation elements. The following minimum articulation elements are required:
i.
Primary façade: Three (3) elements.
ii.
Secondary façade: Two (2) elements.
iii.
Rear façade: One (1) element.
iv.
Rear façade visible from a right-of-way, but not fronting a right-of-way: two (2) elements.
v.
If the building is placed in a corner of two (2) rights-of-way, an additional corner element is required.
(e)
Articulation elements.
i.
Arched, gabled, stepped or decorative parapet with cornice over building entrances, integrated with the building's massing and style.
ii.
Canopies, balconies, patios, porches or porticos, bay windows, steps, ornamental guardrails, pergolas, columns, all of which shall be integrated with the building's massing and style in quantity and proportion.
iii.
Vertical or horizontal modulation.
iv.
Additional peaked roof forms used as wall articulation.
v.
Overhangs or other roof treatments that provide shade and break the vertical plane, a minimum of three (3) feet deep that cover at least fifty (50) percent of the horizontal length of the façade.
vi.
Arches, arched forms, gallery or arcade that cover at least fifty (50) percent of the horizontal length of the façade.
vii.
Ornamental and structural articulations that are integrated into the building structure, consistent with the building's mass and scale. Vertical architectural treatments shall have a minimum width of twenty (20) inches and a projection or recession of a minimum of twelve (12) inches in depth.
viii.
If a rear façade is visible from a right-of-way but does not front a right-of-way, requiring two (2) articulation elements, enhanced perimeter landscape is permissible as one (1) of the two (2) required articulation elements. The landscaped area shall be a minimum five (5) feet wide and shall include groundcover and shrubs/vegetation that provide dense screening with a mature height of six (6) feet at a minimum, and one (1) understory tree or clusters of three (3) palm trees for each twenty-five (25) feet, or fraction thereof, of the linear building façade.
ix.
Corner articulation elements including any of the above (except item viii.) or a vertical wall signage, an enhanced stair case, an associated plaza or common area, public art.
x.
Any other treatment that, the approving authority determines to clearly and convincingly be consistent with the intent of this section and is consistent with sound and generally accepted land use planning practices and principles.
(f)
Application of articulation elements. Elements utilized to count to satisfy wall articulation requirements shall not be credited as satisfying other design requirements.
Figure 8.54 — Building Articulation Parking Garages
(2)
Roof Modulation.
(a)
Intent. The intent of this section is to ensure that visual interest also applies to roof treatment. Roof forms may be used to identify different functional areas within the building, to provide for additional light to enter the building, to reduce massing, to screen rooftop equipment, and to create movement along the roof line.
(b)
Roof design compatibility. Roofing forms, slopes, details, materials, and overall design shall be compatible with the overall style and character of the structure.
(c)
Gutters and downspouts. All roofs shall include gutters/downspouts that:
i.
Drain directly into a cistern, landscaped area or storm drain system.
ii.
Match the trim or body color of the façade.
iii.
Are discreetly located to maximize aesthetics, unless decorative in nature.
(d)
Vent pipes. Vent pipes that are visible from the streets and pedestrian areas shall be painted to match the color of the roof to make them less visible.
(e)
Number of roof modulation elements.
i.
Primary façade roofline: Two (2) elements.
ii.
Secondary façade roofline: One (1) element.
(f)
Roof modulation elements.
i.
Uninterrupted roofline along the eave between roof modulation elements shall be no more than forty (40) feet.
ii.
Decorative parapets that are a minimum of four (4) feet in height above the finished roof floor of the rooftop.
iii.
Extension of window or façade elements up into the roof area.
iv.
Distinctive roof forms covering each building mass.
v.
Landscape planters or elements along the roofline.
vi.
Any other treatment that, the approving authority determines to be consistent with the intent of this Subsection and is consistent with sound and generally accepted land use planning or architectural practices and principles.
Figure 8.55 — Roof Modulation, Parking Garages
(3)
Fenestration.
(a)
Intent. The intent of this section is to ensure identity and visual interest in parking garage building design and ensure proper natural light and ventilation to the garage building.
(b)
Design standards. Doors, windows, and other openings in a building exterior façade shall comply with all of the following:
i.
Fenestration elements (doors, windows and openings) shall be appropriately sized for the scale and style of the building on which they are located.
ii.
Windows, doors and/or openings shall occupy a minimum of thirty (30) percent of the façade area of the primary and secondary façades that front a street, park, plaza or on-site courtyard.
iii.
Windows or openings shall provide both visibility and day-lighting into the building.
iv.
Windows or openings shall be preferably vertical in shape (height is at least twenty (20) percent greater than width. If openings are horizontal in shape, vertical elements in the façade articulation shall be provided.
(4)
Materials.
(a)
Intent. The intent of this section is to use façade materials to provide character and attractiveness to the parking garage building(s). Materials shall be varied and contrasting either to differentiate buildings or parts of buildings.
(b)
Material consistency. Material treatment shall be consistent in all façades and shall be complementary to one another and appropriate for the architectural style.
(c)
Number of façade materials. The minimum number of building materials used on a primary façade and secondary façade shall be two (2), excluding fenestration, trims and decorative elements.
(d)
Change in materials. Changes in material shall generally occur when there is a change in the plane of the façade. The change in material shall occur on inside corners of the building.
(e)
Wrapping materials around building corners. If used, brick and stone materials shall wrap around corners to give an appearance of structural function and minimize a veneer appearance.
(f)
Minimum and maximum percentages of specific materials.
i.
The minimum percentage of stone and/or brick in a primary façade shall be twenty (20) percent and the minimum percentage of stone and/or brick in a secondary façade shall be ten (10) percent. Alternatively, a minimum of forty (40) percent of other textured material shall be required for primary façades and a minimum of twenty (20) percent of other textured material shall be required for secondary façades.
ii.
The maximum percentage for stucco in a primary façade shall be forty (40) percent and the maximum percentage for wood panel (including painted or stained lap horizontal siding, vertical board, batten wood siding) shall be forty (40) percent.
iii.
The maximum percentage for stucco in a secondary façade shall be fifty (50) percent and the maximum percentage for wood panel (including painted or stained lap horizontal siding, vertical board, batten wood siding) shall be fifty (50) percent.
(g)
Percentage calculation. The percentage calculation shall be based on exterior walls, excluding fenestration, trims and decorative elements.
(h)
Permissible façade materials. Permissible façade materials include: brick, stone, wood panel (including painted or stained lap horizontal siding, vertical board, batten-wood siding), stucco, textured stucco and textured concrete panels.
(i)
Prohibited façade materials. Prohibited façade materials include: untreated concrete block, plywood, unfinished lumber aluminum, textured T1-11, corrugated fiberglass, sheet metal or tin siding and any other materials determined by the City to be of similar nature or effect.
(5)
Colors.
(a)
Intent. The intent of this section is to guarantee colors are harmonious and add to the visual character of the building.
(b)
Prohibited colors and finishes. The following are prohibited on the exterior of any building:
i.
Colors that are garish, gaudy, loud, excessive, or ostentatious;
ii.
Colors that constitute a glaring and unattractive contrast to the surrounding buildings or area;
iii.
Colors that fluoresce under ultra-violet (UV) or black light;
iv.
Colors and finishes that are pearlescent or excessively reflective in nature.
(c)
Maximum number of colors. A maximum of three (3) colors may be used on the exterior walls of any building, plus two (2) additional colors for trim/cornice work.
(d)
Interior painting/finishing. Parking garage interior walls and ceilings shall be painted/finished with a material in a light color to enhance light levels.
(e)
Natural materials. Unpainted materials such as brick and stone do not count as colors.
(6)
Height.
(a)
Building height. The maximum building height for parking garages in all zoning districts shall be forty-five (45) feet. Building garages located along development corridors, as defined by the Comprehensive Plan, shall have a maximum height of sixty (60) feet, except those located within the Downtown Mixed-Use District—Village Core (MUD-VC) which height shall comply with Article VI, Exhibit C, Maximum Buildable Heights by Zone.
(D)
Accessory Structures
(1)
Fences and Walls.
(a)
Height.
i.
Fences and walls located in the front yard/setback (excluding retaining and subdivision walls) shall have a maximum height of three (3) feet. Rear and side yard fences and walls shall have a maximum height of six (6) feet and the setback shall be zero (0) Fence and wall posts shall be no more than twelve (12) inches higher than the fence or wall.
ii.
Parking Garage perimeter walls and fences shall have a maximum height of six (6) feet.
(b)
Material consistency. Fences and walls shall be constructed with materials that are consistent or complementary to the architecture of the development.
(c)
Permissible wall finishing materials. Permissible wall finishing materials include: brick and stone.
(d)
Permissible/prohibited fence materials. Permissible fence materials include wood, vinyl, anodized aluminum and wrought iron. Materials such as barbed wire, razor wire and chain link are prohibited.
(2)
Service Areas.
(a)
Intent. The intent of this section is to ensure that service areas, loading areas, refuse/recycling collection containers (garbage dumpsters) are located in areas that are not visible from public streets by pedestrians.
(b)
Design requirements for refuse/recycling collection containers (garbage dumpsters).
i.
Refuse/recycling collection containers (garbage dumpsters) shall be structurally screened.
ii.
Screening shall be a minimum one (1) foot greater in height than the element being screened.
iii.
Structural screening shall be consistent with the architectural elements, materials, and colors of the principal structure.
iv.
The minimum rear and side setback to refuse/recycling collection containers shall be five (5) feet.
(3)
Mechanical Equipment.
(a)
Intent. The intent of this section is to ensure that mechanical equipment is located in areas that are not visible from public streets by pedestrians.
(b)
Location. Mechanical equipment shall be placed on the roof, on the side, or in the rear of each building.
(c)
Roof-top equipment design requirements.
i.
Roof-top mechanical equipment shall be completely screened from all ground level views by a parapet wall or other architectural feature, which feature shall be architecturally integrated to the building.
ii.
The parapet screen height shall be at least one (1) foot higher than the mechanical equipment being screened. In exceptional cases, if the applicant cannot meet this requirement, the applicant may propose a different screening height if demonstrated by the line of sight that the equipment is not visible from the pedestrian view, in which case it shall not be considered a deviation.
iii.
Structural screening shall be consistent with the architectural elements, materials and colors of the principal structure. Whenever practicable, these areas and equipment shall be integrated into the main structure.
(d)
Ground-mounted equipment design requirements.
i.
Ground-mounted equipment shall not be visible from public rights-of-way, by pedestrians or adjacent residential properties.
ii.
Screening shall be provided at a minimum one (1) foot greater in height than the area/equipment being screened.
iii.
Structural screening shall be consistent with the architectural elements, materials, and colors of the principal structure. Whenever practicable, these areas and equipment shall be integrated into the main structure.
iv.
The minimum rear and side setbacks for ground-mounted equipment shall be five (5) feet.
(4)
Solar Panels.
(e)
Intent. The intent of this section is to allow green building practices by permitting solar panels in the parking garage building while keeping the aesthetic character of the building and the development.
(f)
Location requirements.
i.
Solar panels that are not integrated in the architecture of the façade or roof shall be hidden from sight and shall be treated as mechanical equipment.
ii.
Solar panels and photovoltaic elements that are integrated into the building architecture shall comply with the architecture articulation and/or roof elements.
(Ord. No. 1647 , § 4, 2-20-17)
Notwithstanding the provisions of the standards set forth herein, an applicant may submit to the City Council an alternative design plan which, although not meeting all of the technical requirements of these standards, clearly and convincingly results in an innovative building or site design which is consistent with sound and generally accepted land use planning or architectural practices and principles, creates a positive visual experience from the street level, protects the visual ambience of the community, enhances the public amenities resulting from the design, and generally furthers the intent of the standards. Approval of alternative design techniques may be granted by the City Council by means of issuance of a site or architectural development order.
(Ord. No. 1647 , § 4, 2-20-17)
ARCHITECTURAL AND URBAN DESIGN Standards
The general intent of the architectural and urban design standards is as follows:
(A)
To produce a high quality living environment for all users.
(B)
To enhance the relationship between new development/redevelopment and public spaces.
(C)
To improve the pedestrian experience along the street level, through active building edges.
(D)
To create publicly accessible open spaces and plazas as key focal points and an organizing feature of the site.
(E)
To maintain an appropriate overall scale and pattern of development within its context.
(F)
To protect significant natural and man-made features such as mature vegetation, street trees, heritage trees and open space areas.
(G)
To provide for adequate density/intensity through an efficient and cost-effective use of land.
(H)
To maintain and enhance the attractiveness of the streetscape and the architecture in the City of Oviedo.
(I)
To require articulation that reduces the mass/scale and uniformity of large building masses, while allowing design flexibility.
(J)
To improve traffic circulation options, particularly for pedestrians and bikers.
(K)
To ensure that development is accomplished with high quality that benefits the property owners and the citizens of the City of Oviedo, thereby protecting the high quality of life afforded to the citizens of the City and enhancing the tax base of the City.
(L)
To integrate the architectural character of neighboring buildings where it provides a positive example through the use of related building features including scale/mass, height, the proportions of entries, windows and other openings (fenestration), colors, materials, and volumes.
(Ord. No. 1647 , § 4, 2-20-17)
(A)
New Development and Redevelopment The standards herein shall apply to new development and redevelopment that results in an increase in the square footage of an existing building, demolition, or renovation of more than fifty (50) percent in the aggregate, or/and a renovation or redesign of façades that impact more than fifty (50) percent of each façade area of the following uses:
(1)
Townhome developments in any zoning district;
(2)
Multifamily developments in any zoning district;
(3)
Mixed-use developments in any zoning district;
(4)
Office and Commercial uses in any zoning district;
(5)
Parking garages; or
(6)
Institutional use involving buildings with a footprint larger than 30,000 square feet in any zoning district. For this use, the City will only apply the massing standards designed for commercial/office use.
(B)
Permissible Uses The standards apply to developments listed in the Land Development Code Table of Permissible Uses as permissible uses, as permissible uses with the approval of special exception use orders (SEUO) or as permissible uses as part of a planned unit development (PUD) in all zoning districts.
(C)
Alternative Design These standards are not intended to prevent the use of alternative designs that meet the intent and purpose established in Section 8.1. Proposals for alternative design solutions may be submitted to the City Council for consideration as provided for in Section 8.9.
(D)
Demonstration of Compliance Compliance with the urban design standards shall be demonstrated to the approving authority prior to the issuance of a site development order and compliance with the architectural design standards shall be demonstrated to the City Council prior to the issuance of an architectural design order and building permit approval.
(E)
Repainting of Existing Buildings Repainting of existing buildings shall comply with the "Color" Section for each respective use and may be approved by Staff if no deviations are requested.
(F)
Issuance of Development Order Unless otherwise set forth herein, the determinations made with regard to compliance with any of these standards shall be made by applying sound and generally acceptable planning and architectural principles and practices, as applicable. Any finding required to be made shall be made by issuance of a development order by the appropriate approving authority on the basis of clear and convincing evidence being submitted in support thereof to the City. Denials shall be issued in accordance with the provisions of F.S. § 166.033.
(G)
Relationship with Other Sections of the Land Development Code In the event that the requirements of the standards set forth in this Article are in conflict with the standards of other sections of Land Development Code, the standards in this article shall apply.
(Ord. No. 1647 , § 4, 2-20-17)
(A)
Innovative Design and Density Bonus If development meets a minimum of two (2) of the following policies under innovative design encouraged by the Comprehensive Plan, it will be eligible for density bonus, where applicable, according to the Comprehensive Plan, subject to City Council approval, which shall be issued by means of a development order finding that the applicant meets such policies:
(1)
Tree Preservation. The development preserves more than twenty-five (25) percent of trees with caliper larger than (>) thirty (30) inches in diameter at breast height (dbh).
(2)
Complete Streets. The development provides complete public streets (as exemplified in Figure 8.1 and/or accepted by the City Engineer).
(3)
Community for a Lifetime Residential Units. The development provides twenty-five (25) percent of residential units addressing "Communities for a Lifetime" principles, by offering elevators in residential developments or master bedroom suites at ground level.
(4)
Low Impact Development. The development proposes low impact development engineering solutions for storm water including, but not limited to, bio-swales, porous paving, green roofs, etc.
(5)
Charging Stations for Electric Cars. The development dedicates at least five (5) percent of required parking or, in the case of townhomes the required guest parking, as charging stations for electric cars with the installation of the required equipment, above the specific charging station parking requirements for the development.
(6)
Use of Environmentally Friendly Design Practices. The development utilizes environmentally friendly building design practices such as the provision of high efficacy lighting and alternative energy solutions including, but not limited to, solar energy solutions.
(7)
Health-Design Solutions. The development offers health-design solutions such as, but not limited to, community gardens, internal bicycle lanes/trails, and outdoor communal fitness equipment.
(8)
Vertical Mixed-Use. The development implements vertical mixed-use.
(B)
Deviations and Mitigations If the applicant requests deviations pursuant to Section 2.7, Flexibility in Administration (Deviations), to any design standard that is regulated in this Chapter, and mitigation is required, such mitigation shall be provided according to the following mitigation techniques:
(1)
Tree Preservation. The development preserves more than twenty-five (25) percent of trees with caliper larger than (>) thirty (30) inches in diameter at breast height (dbh).
(2)
Complete Streets. The development provides complete public streets as exemplified in Figure 8.1 and/or accepted by the City Engineer.
Figure 8.1 — Complete Streets Examples
(3)
Wide Sidewalks. The development provides sidewalks with a width of at least eight (8) feet.
(4)
Community for a Lifetime Residential Units. The development provides twenty-five (25) percent of residential units addressing "Communities for a Lifetime" principles, by offering elevators in residential developments or master bedrooms at ground level.
(5)
Low Impact Development. The development proposes low impact development engineering solutions for storm water including, but not limited to, bio-swales, porous paving, green roofs, etc.
(6)
Charging Stations for Electric Cars. The development dedicates at least five (5) percent of required parking or guest parking as charging stations for electric cars with the installation of the required equipment, above the specific charging station parking requirements for the development.
(7)
Use of Environmentally Friendly Design Practices The development utilizes environmentally friendly building design practices such as green roofs, and the provision of alternative energy solutions including, but not limited to, solar energy solutions.
(8)
Health Design Solutions. The development offers health-design solutions including, but not limited to, community gardens, internal bicycle lanes/trails, and outdoor communal fitness equipment.
(9)
Public Amenities. The development offers public amenities such as patios and plazas, landscaped mini-parks, squares or greens beyond what is required.
(10)
Vertical Mixed-Use. The development implements vertical mixed-use.
(11)
Public Art. The development will donate public or provide semi-public art including, but not limited to, sculptures or murals consistent with City policy on public art.
(12)
Other Mitigation. Such other mitigations that the City Council determines to better mitigate the standard(s) being deviated from, which is clearly and convincingly consistent with the intent of this section and which is consistent with sound and generally accepted land use and architectural practices and principles.
(C)
Number of Mitigation Techniques Deviations up to twenty (20) percent shall require one (1) mitigation technique; deviations above twenty (20) percent and up to fifty (50) percent shall require two (2) mitigation techniques; and deviations above fifty (50) percent shall require three (3) mitigation techniques. If multiple deviations are requested, the number of mitigation techniques will be based on the highest deviation requested.
(D)
Use of Innovative Design and Mitigation Techniques A policy used to satisfy the criteria of Section 8.3(A) may not be credited to meet the criteria set forth in Section 8.3(B), and vice-versa.
(Ord. No. 1647 , § 4, 2-20-17)
(A)
Site Design
(1)
Streets/Alleys/Walkways.
(a)
Intent. The intent of this section is to ensure all development provides internal and external circulation connectivity and safety as may be required to protect the public interest.
(b)
Sidewalks on both sides of a street. Private and public streets within developments shall provide sidewalks on both sides of the public or private street.
(c)
Street connectivity. New streets (public and private) and sidewalks (public and private), as defined by F.S. § 334.03, shall feature an integrated circulation network within the development and shall be extended and integrated into the existing public street system. Where street connections are not possible, pedestrian and bike paths shall be used as an alternative, unless the applicant clearly and convincingly demonstrates that such connection is impracticable.
(d)
Gated developments and cul-de-sacs. Gated developments and cul-de-sacs are discouraged. If a project proposes to be gated, the applicant shall submit justification to the Land Use Administrator and the proposal shall be subject to City Council approval, which determination shall be made based upon an evaluation of the public interest and internal orientation and connectivity evaluations.
(e)
Access points. Townhome developments with more than fifty (50) dwelling units shall provide a minimum of two (2) access points to public streets.
(f)
Minimum width of streets and rights-of-way. Internal streets or rights-of-way (public and private) shall have a minimum width of fifty (50) feet, unless otherwise approved by the City Engineer, based upon sound and generally accepted engineering practices and principles.
(g)
Minimum width of alleys. Internal alleys shall be one way and have a minimum width of sixteen (16) feet of pavement and a total width of twenty (20) feet.
(h)
Minimum width of sidewalks. Sidewalks shall have a minimum width of five (5) feet clear of vehicle overhangs.
(i)
Walkways between buildings. A walkway shall be provided between building blocks to access common areas.
Figure 8.2 — Alleys, Townhomes
(2)
Open Space.
(a)
Intent. The intent of this section is to provide a balance between developed areas and undeveloped areas in the City, which is consistent with sound and generally accepted planning and land use practices and principles.
(b)
Minimum Open Space Area. A minimum of twenty-five (25) percent of the total site shall be dedicated as open space.
(c)
Location of Open Spaces and Recreational Areas. Open spaces and recreational areas shall be centrally located and shall be visually and physically connected to streets. If not possible to provide a centrally located recreational area, justification shall be provided by the applicant and the alternative proposal will be subject to approval by the City Council upon evidence of sound and generally accepted planning and land use practices and principles.
(d)
Design of Open Spaces and Recreational Areas. Open space and recreational areas are encouraged be designed to use topographic, natural and/or historic site features to enhance the aesthetics of the site.
(e)
Mini-parks. Mini-parks are required in an aggregate amount equal to three hundred and fifty (350) square feet per lot.
Figure 8.3 — Open Space/Recreation Area Location, Townhomes
(3)
Landscape.
(a)
Intent. The intent of this section is to preserve and protect existing healthy trees and ensure that the new development provides shade and greenery to residents.
(b)
Street Trees. A minimum of one (1) large street tree shall be provided for every fifty (50) linear feet of right-of-way, adjacent to a development parcel. Alternatively, a minimum of one (1) medium street tree may be allowed for every thirty (30) linear feet of right-of-way, adjacent to a development parcel, if applicant demonstrates that it is impractical to plant the large street trees.
(c)
Lot Trees. At least one (1) large tree per lot shall be provided. Alternatively, one (1) large tree may be replaced by two (2) medium trees or one (1) medium tree and one (1) palm tree, except as provided in Subsection (d).
(d)
Lot Trees within Lots with Front Setback of Seven point Five (7.5) Feet and Rear Setbacks of Five (5) Feet In case of townhomes with front setback of seven point five (7.5) feet and rear setbacks of five (5) feet, the required number of lot trees may be split according to the following calculation: a minimum of fifty (50) percent of the required number of lot trees shall be planted on the lots and the remaining number of trees shall be planted in the common area.
(4)
Lighting.
(a)
Intent. The intent of this section is to ensure safety and convenience for the circulation of people and motor vehicles.
(b)
Areas to be lighted. Areas such as sidewalks, plazas, recreational areas, entrances, garbage disposal areas, and alleys shall be illuminated at night to ensure pedestrian safety. Lighting shall be provided at regular intervals to prevent dark pockets.
(c)
Design standards.
i.
Internal development lighting for pedestrian lighting areas shall have a maximum pole height of sixteen (16) feet. Development lighting for vehicular areas shall have maximum pole height of thirty-five (35) feet.
ii.
Lighting fixtures shall be consistent throughout the development and shall aesthetically complement the architecture of the building as to its style.
iii.
All lighting fixtures in public rights-of-way shall use Light Emitting Diode (LED) lighting.
iv.
Lighting fixtures shall use concealed source fixtures.
v.
Light poles shall have fluted bases.
vi.
Lighting in exclusively pedestrian areas may use illuminated bollards instead of light poles.
vii.
If the applicant proposes an innovative lighting design that does not comply with non-quantifiable standards, the applicant shall provide a justification and the proposal shall be submitted to the City Council for approval based upon an evaluation of the aesthetic of the design and its overall consistency with the proximate architectural features.
Figure 8.4 — Lighting, Townhomes
(5)
Guest Parking.
(a)
Intent. The intent of this section is to provide adequate parking for visitors and to not adversely impact proximate areas with overflow parking.
(b)
Guest parking location. Townhome development shall accommodate guest parking either on street, on the lot or in a designated common area. Guest-parking is encouraged to be evenly distributed within the site.
(c)
Guest parking depicted in the plans. The applicant shall depict the guest parking location on the plans.
(d)
Guest parking calculation. The calculation for the guest parking shall be zero point two-five (0.25) parking spaces per townhome unit.
(6)
Signage.
(a)
Sign designs. Townhome subdivision entrance signs (free standing signs or wall subdivisions signs) shall be complementary to the architecture of the development.
(b)
Electronic changeable copy sign. Electronic changeable copy signs for the townhome subdivision entrance signs are prohibited.
(B)
Building Siting
(1)
Building Orientation.
(a)
Orientation. The intent of this section is to orient townhome front entrances towards the public or private streets, common areas or courtyards (publicly accessible spaces) and to have townhome buildings creating a sense of spatial enclosure along streets with buildings forming a "street wall" and defining "outdoor rooms".
(b)
Front entrances. The front unit entrance shall be located on the primary façade.
(c)
Façade classification.
i.
A façade that has a primary entrance door is a primary façade.
ii.
If the townhome is located in a corner lot that faces two (2) public streets and the side façade does not have a primary entrance, that side façade is the secondary façade.
iii.
If the townhome façade with the primary entrance faces a common area or a courtyard and the garage faces a private internal street, the façade where the garage is located is a secondary façade, and the façade with the primary entrance is a primary façade. If the garage faces a public street, the garage façade is a primary façade.
(d)
Building length. Maximum building group length shall be ten (10) units or two hundred and fifty (250) feet, whichever is less.
(e)
Relationships between buildings. Townhome buildings shall face each other with a front-to-front or a back-to-back relationship depending on location relative to a street, lane or open space.
(f)
Minimum distance between buildings across each other. If townhome buildings' primary façades face each other in a common area instead of across the street, the minimum distance between the buildings across the common area shall be fifty (50) feet.
(a) Townhomes facing two public or private streets and no side entrance
(b) Townhomes facing two public or private streets and with side entrances at the
corners
(c) Townhomes' main entrance facing a courtyard and garages facing a public street
(d) Townhomes main entrance facing a courtyard and garages facing a private street
(2)
Lot size, width and setbacks.
(a)
Intent. The intent of this section is to organize the location of townhomes and accessory structures in relation to the street, to the lot and to other adjacent units in order to provide enough space for air circulation, insulation, vegetation, storm water filtration and privacy between units.
(b)
Lot dimensions. Townhome lots shall have a minimum area of one thousand eight hundred (1,800) square feet and minimum lot width of twenty (20) feet.
(c)
Front setbacks to principal structure. The minimum front setbacks shall be:
i.
Seven point five (7.5) feet for buildings with rear-loaded garages fronting complete streets;
ii.
Fifteen (15) feet for buildings with rear-loaded garages fronting non-complete streets; or
iii.
Twenty (20) feet for buildings with front-loaded garages.
(d)
Side setbacks to principal structure. The minimum side setback for corner lots/buildings shall be five (5) feet on the side facing the corner.
(e)
Rear setbacks to principal structure. The minimum rear setback for buildings shall be a minimum five (5) feet for townhomes with rear-loaded garages off alleys and a minimum ten (10) feet for townhomes with no rear loaded garages.
(f)
Architectural elements in the setback. Entry stoops, porches or architectural elements may encroach into the front setback area up to five (5) feet.
(g)
Distance between buildings. The minimum distance between townhome buildings shall be fifteen (15) feet for regularly shaped lots and an average of fifteen (15) feet, minimum of ten (10) feet for irregularly shaped lots.
Figure 8.6 — Distance between Buildings, Townhomes
(3)
On-site Parking.
(a)
Intent. The intent of this section is to ensure that garages are not a prominent element in the façade with emphasis placed on the residential primary entrance. Therefore, garages are encouraged to be rear-loaded.
(b)
Minimum number of parking spaces. On-site parking spaces per unit shall be provided based on the number of bedrooms minus one (1), with a minimum of two (2) parking spaces per unit.
(c)
Garage frontage maximum length. Garages frontage length shall not exceed fifty (50) percent of the primary façade length.
Figure 8.7 — Percentage of Garage Frontage Length, Townhomes
(d)
Detached rear garage. Detached rear garage is permissible.
(e)
Common parking garages. Common parking garages/areas are permissible.
(C)
Building Form
(1)
Articulation and Design.
(a)
Intent. The intent of this section is to reduce the apparent size of buildings and create visual interest. Building façades and roofs shall include architectural elements that vary in order to alleviate the appearance of a large building mass, break up long walls, express the individuality of each unit, and enhance the character of the neighborhood/development.
(b)
Architectural elements. Architectural elements and variation shall not be restricted to a single façade. All sides of a building shall display a balanced level of quality and architectural interest consistent with sound and generally accepted architectural practices and principles.
(c)
Front entrance articulation. Front entrances shall be clearly defined with the use of architectural features including, but not limited to, porticos, recessed/projected access, stairs, columns, canopies, different material or treatment.
(d)
Minimum number of articulation elements. The following minimum articulation elements are required:
i.
Primary façade: Three (3) elements.
ii.
Secondary façade: Two (2) elements.
iii.
Rear façade: One (1) element.
iv.
Rear façade visible from a right-of-way but not fronting a right-of-way: Two (2) elements.
(e)
Articulation elements.
i.
Arched, gabled, stepped or decorative parapet with cornice over building entrances, integrated with the building's massing and style.
ii.
Canopies, balconies, patios, porches or porticos, bay windows, steps, ornamental guardrails, pergolas, columns, all of which shall be integrated with the building's massing and style.
iii.
Vertical or horizontal modulation.
iv.
Peaked roof forms used as wall articulation.
v.
Overhangs or other roof treatments that provide shade and break the vertical plane, a minimum of three (3) feet deep that cover at least twenty (20) percent of the horizontal length of the façade.
vi.
Ornamental and structural articulations that are integrated into the building structure, consistent with the building's mass and scale. Vertical architectural treatments shall have a minimum width of twenty (20) inches and a projection or recession of a minimum of twelve (12) inches in depth.
vii.
Articulation elements that reflect the individuality of each unit including, but not limited to, recesses, additional decorative features, or change of material and/or change of color associated with difference in façade plane, consistent with sound and generally accepted architectural practices and principles.
viii.
If a rear façade is visible from, but does not front a right-of-way, requiring two (2) articulation elements, enhanced perimeter landscape is permissible as one (1) of the two (2) required articulation elements. The perimeter landscaped area shall be a minimum five (5) feet wide and shall include groundcover and shrubs/vegetation that provide dense screening with a mature height of six (6) feet at a minimum, and one (1) understory tree or clusters of three (3) palm trees for each twenty-five (25) feet, or fraction thereof, of the linear building façade.
ix.
Any other treatment that the approving authority determines to clearly and convincingly be consistent with the intent of this section and is consistent with sound and generally accepted land use planning practices and principles.
(f)
Articulation elements of accessory structures. Separate accessory structures on the site shall have similar and compatible architectural detail, design elements and roof design as the principal structure, consistent with sound and generally accepted architectural practices and principles.
(g)
Application of articulation. Elements utilized to satisfy wall articulation requirements shall not be credited as satisfying other design requirements.
Figure 8.8 — Façade Articulation, Townhomes
(2)
Roof Modulation.
(a)
Intent. The intent of this section is to ensure that visual interest also applies to roof treatment. Roof forms may be used to identify different functional areas within the building, to provide for additional light to enter the building, to reduce massing, to screen rooftop equipment, and to create movement along the roof line.
(b)
Roof design compatibility. Roofing forms, slopes, details, materials, and overall design shall be compatible with the overall style, mass, scale and character of the structure.
(c)
Gutters and downspouts. All roofs shall include gutters/downspouts that:
i.
Drain directly into a cistern, landscaped area or storm drain system.
ii.
Match the trim or body color of the façade.
iii.
Are discreetly located to maximize aesthetics, unless decorative in nature.
(d)
Vent pipes. Vent pipes that are visible from a street and pedestrian area shall be painted to match the color of the roof to make them less visible.
(e)
Number and roof modulation elements. The following minimum roof modulation elements are required:
i.
Primary façade: Two (2) elements.
ii.
Secondary façade: One (1) element.
(f)
Roof modulation elements.
i.
Uninterrupted roofline along the eave between roof modulation elements shall be no more than forty (40) feet.
ii.
Decorative parapets that are a minimum of three (3) feet in height above the finished roof.
iii.
Multiple peaks and/or roof planes.
iv.
A sloping roof with an average pitch of 3:12 or greater.
v.
Extension of window or façade elements up into the roof area.
vi.
Distinctive roof forms covering each building mass.
vii.
Same roof form with a different orientation of the ridge elements.
viii.
Same roof form with same orientation, but the roof has a minimum change in elevation of two point five (2.5) feet between each roof level.
ix.
Any other treatment that the approving authority determines to be consistent with the intent of this Subsection and is consistent with sound and generally accepted land use planning and architecture practices and principles.
Figure 8.9 — Roof Modulation, Townhomes
(3)
Fenestration.
(a)
Intent. The intent of this section is to ensure identity and visual interest in townhome design and ensure proper natural light and ventilation to townhome units.
(b)
Design Standards. Doors, windows and other openings in a building exterior façade shall comply with all of the following:
i.
Fenestration elements (doors, windows and openings) shall be appropriately sized for the scale and style of the building on which they are located.
ii.
Windows, doors and/or openings shall occupy a minimum of twenty (20) percent of the area of the primary façade and ten (10) percent of the area of the secondary façade or façades that front a street, park, plaza or on-site courtyard.
iii.
A garage door can be creditable as fenestration element if providing a minimum of twenty (20) percent of its area as windows.
iv.
Windows shall provide day-lighting into the building.
v.
Windows shall be vertical in shape (height at least twenty (20) percent greater than width). Buildings using large amounts of glass shall divide the glass into smaller panels achieving proportions emphasizing verticality.
Figure 8.10 — Fenestration, Townhomes
(4)
Materials.
(a)
Intent. The intent of this section is to use façade materials to provide character and attractiveness to the set of buildings. Materials shall be varied and contrasting either to differentiate dwelling units or to differentiate specific portions of dwelling units.
(b)
Material consistency. Material treatment shall be consistent in all façades and shall be complementary to one another and appropriate for the architectural style.
(c)
Number of façade materials. The minimum number of building materials used on a primary façade and secondary façade shall be two (2), excluding fenestration, trims and decorative elements.
(d)
Change in materials. Changes in material shall generally occur when there is a change in the plane of the façade. The change in material is encouraged to occur on inside corners of the building.
(e)
Wrapping materials around building corners. Brick and stone materials shall wrap around corners to give an appearance of structural function and minimize a veneer appearance.
(f)
Brick and stone veneer. If used, brick and stone veneer shall be mortared to give the appearance of a structural function
(g)
Minimum and maximum percentages of specific façade materials.
i.
The minimum percentage of stone and/or brick in a primary façade is twenty (20) percent and the minimum percentage of stone and/or brick in a secondary façade is ten (10) percent.
ii.
The maximum percentage for stucco in a primary façade is forty (40) percent and the maximum percentage for wood panel (including painted or stained lap horizontal siding, vertical board, batten wood siding) is forty (40) percent.
iii.
The maximum percentage for stucco in a secondary façade is fifty (50) percent and the maximum percentage for wood panel (including painted or stained lap horizontal siding, vertical board, batten wood siding) is fifty (50) percent.
(h)
Percentage calculation. The percentage calculation shall be based on exterior walls, excluding fenestration, trims and decorative elements.
(i)
Permissible façade materials. High-quality façade materials, including but not limited to: brick, stone, wood panel (including painted or stained lap horizontal siding, vertical board, batten-wood siding) and stucco.
(j)
Prohibited façade materials. Prohibited façade materials include: untreated concrete block, plywood, unfinished lumber aluminum, textured T1-11, corrugated fiberglass, sheet metal or tin siding and any other materials determined by the City to be of similar nature or effect.
Figure 8.11 — Materials, Townhomes
(5)
Colors.
(a)
Intent. The intent of this section is to ensure that colors are harmonious and add to the visual character of the building.
(b)
Prohibited colors and finishes The following are prohibited on the exterior of any building, which are found by the City to be one or more of the following:
i.
Colors that are garish, gaudy, loud, excessive or ostentatious;
ii.
Colors that constitute a glaring and unattractive contrast to the surrounding buildings or area;
iii.
Colors that fluoresce under ultra-violet (UV) or black light;
iv.
Colors and finishes that are pearlescent or excessively reflective in nature.
(c)
Maximum number of colors. A maximum of three (3) colors may be used on the exterior walls of any building plus two (2) additional colors for trim/cornice work.
(d)
Natural materials. Unpainted materials such as brick and stone do not count as colors.
(6)
Height.
(a)
Building height. The maximum height of townhome buildings shall be forty-five (45) feet in any zoning district within the City.
(D)
Accessory Structures
(1)
Fences and walls.
(a)
Height/Setbacks.
i.
Fences and walls located in the front yard/setback (excluding retaining and subdivision walls) shall have a maximum height of three (3) feet and shall observe a minimum setback of two (2) feet from the right-of-way.
ii.
Rear and side yard fences and walls shall have a maximum height of six (6) feet and the minimum setback shall be zero (0).
iii.
In the case of corner lots, if the side of a principal structure faces a right-of-way, the walls and fences shall observe a minimum setback of two (2) feet from the right-of-way.
iv.
Fence and wall posts maximum height shall not exceed twelve (12) inches over the fence or wall height.
v.
Townhome subdivision walls shall have a maximum height of six (6) feet.
(b)
Subdivision wall facing ROW. If a townhome subdivision wall faces a right-of-way, the subdivision shall provide a tract (common area) with a minimum width of five (5) feet between the private property and the right-of-way between which the subdivision wall/fence will be built.
(c)
Material consistency. Fences and walls shall be constructed with materials that are consistent or complementary to the architecture of the development.
(d)
Permissible wall finishing materials. Permissible wall finishing materials include: brick and stone.
(e)
Permissible/prohibited fence materials. Permissible fence materials include wood, vinyl, anodized or powder coated aluminum and wrought iron. Materials such as barbed wire, razor wire and chain link are prohibited.
Figure 8.12 — Fences and Walls, Townhomes
(2)
Service Areas.
(a)
Intent. The intent of this section is to ensure that common refuse/recycling collection containers (garbage dumpsters) are located in areas that are not visible from public streets by pedestrians.
(b)
Design requirements for common refuse/recycling collection containers (garbage dumpsters).
i.
Refuse/recycling collection containers (garbage dumpsters) shall be structurally screened.
ii.
Screening shall be a minimum one (1) foot greater in height than the element being screened.
iii.
Structural screening shall be consistent with the architectural elements, materials, and colors of the principal structure and shall completely obstruct the view of the element being screened.
iv.
Whenever practicable, these areas and equipment shall be integrated into the main structure.
v.
The minimum rear and side setback for common refuse/recycling collection containers shall be five (5) feet.
(3)
Mechanical Equipment.
(a)
Intent. The intent of this section is to ensure that mechanical equipment is located in areas that are not visible from public streets by pedestrians.
(b)
Location. Mechanical equipment shall be placed on the roof, on the side, or in the rear of each building.
(c)
Roof-top equipment screening requirements.
i.
Roof-top mechanical equipment shall be completely screened from all ground level views by a parapet wall or other architectural feature, which feature shall be architecturally integrated to the building.
ii.
The parapet screen height shall be at least one (1) foot higher than the mechanical equipment being screened. In exceptional cases, if the applicant cannot meet this requirement, the applicant may propose a different screening height if demonstrated by the line of sight that the equipment is not visible from the pedestrian view, in which case it shall not be considered a deviation.
iii.
Structural screening shall be consistent with the architectural elements, materials and colors of the principal structure. Whenever practicable, these areas and equipment shall be integrated into the main structure.
(d)
Ground-mounted equipment screening requirements.
i.
Ground-mounted equipment shall not be visible from public rights-of-way, by pedestrians or adjacent residential properties.
ii.
Screening shall be provided at a minimum one (1) foot greater in height than the area/equipment being screened.
iii.
Structural screening shall be consistent with the architectural elements, materials, and colors of the principal structure. Whenever practicable, these areas and equipment shall be integrated into the main structure.
iv.
The minimum rear setback for ground-mounted equipment shall be five (5) feet.
v.
The minimum side setback for ground-mounted equipment shall be zero (0) feet for internal units or to end-units (not corner lots) with no side yard.
vi.
The minimum side setback for ground-mounted equipment shall be three (3) feet for corner lots.
Figure 8.13 — Mechanical Equipment Screening, Townhomes
(4)
Solar Panels.
(a)
Intent. The intent of this section is to allow green building practices by permitting solar panels in townhome development while keeping the aesthetic character of the building and the development.
(b)
Locational requirements.
i.
Solar panels that are not integrated in the architecture of the façade or roof shall be hidden from sight and shall be treated as mechanical equipment.
ii.
Solar panels and photovoltaic elements that are integrated into the building architecture shall comply with the architecture articulation or roof modulation.
(5)
Other detached accessory structures (pergolas, sheds, cabanas, gazebos, garages etc.).
(a)
Location.
i.
Detached accessory structures for the individual units (such as sheds, cabanas, gazebos and garages) shall be located to the rear of the principal structure on townhome lots.
ii.
Detached accessory structures for the development (such as club houses, gyms etc.) have no locational requirements.
iii.
Common parking garages shall be located to the rear of the development.
(b)
Design standards for accessory structures for the individual units
i.
Detached accessory structures shall not exceed one hundred twenty (120) square feet in floor space, except for detached garages where no maximum square footage is required. Detached accessory structures shall be setback a minimum of five (5) feet from the rear, and a minimum of zero (0) feet from the side property line.
ii.
In the case of a corner lot, the detached accessory structures shall be setback from the street-side property line no less than the minimum setback for the principal structure.
iii.
The maximum height of a detached accessory structure shall be twelve (12) feet for the minimum rear setback allowed. If any point of a detached accessory structure exceeds twelve (12) feet in height, the entire structure must be setback an additional two (2) feet for every one (1) foot of height which exceeds twelve (12) feet.
iv.
The maximum height of a detached garage shall be the same as the principal structure.
(c)
Design standards for common accessory structures for the development (club houses, gyms, etc.).
i.
Detached accessory structures such as pergolas and cabanas shall provide the following minimum setbacks: front setback: fifteen (15) feet; side setback: five (5) feet; and rear setback: ten (10) feet.
ii.
Detached accessory buildings such as club houses and gyms shall observe the same minimum setbacks as the principal structure.
iii.
The maximum height of a detached accessory structure shall be the same as the principal structure.
(Ord. No. 1647 , § 4, 2-20-17)
(A)
Site Design
(1)
Streets/Alleys/Walkways.
(a)
Intent. The intent of this section is to ensure that the development provides internal and external circulation connectivity and safety as may be required to protect the public interest.
(b)
Sidewalks on both sides of a street. Private and public streets within the development shall provide sidewalks on both sides of the public or private street.
(c)
Street connectivity. New streets, as defined by F.S. § 334.03, (public and private) shall feature an integrated pedestrian circulation network within the development and shall be extended and integrated into the existing public street system. Where street connections are not possible, pedestrian and bike paths shall be provided as an alternative, unless demonstrated that such connection is impracticable.
(d)
Gated developments and cul-de-sacs. Gated developments and cul-de-sacs are discouraged. If a project proposes to be gated, the applicant shall submit justification to the Land Use Administrator and the proposal shall be subject to City Council approval, which determination shall be made based upon an evaluation of the public interest and internal orientation and connectivity evaluations.
(e)
Access points. Developments with more than fifty (50) dwelling units shall provide a minimum of two (2) access points.
(f)
Minimum width of streets and rights-of-way. Internal streets (public and private) shall have a minimum width of fifty (50) feet, unless otherwise approved by the City Engineer, based upon sound and generally accepted engineering practices and principles.
(g)
Minimum width of alleys. Internal alleys shall be one way and have a minimum width of sixteen (16) feet of pavement and a total width of twenty (20) feet.
(h)
Minimum width of sidewalks. Sidewalks shall have a minimum width of five (5) feet clear of vehicle overhangs.
(i)
Walkways between buildings. A walkway shall be provided between building blocks to access common areas.
Figure 8.14 — Integrated Pedestrian Connections, Multifamily
(2)
Open Space.
(a)
Intent. The intent of this section is to provide a balance between developed areas and undeveloped areas in the City, which is consistent with sound and generally accepted planning and land use practices and principles.
(b)
Minimum Open Space Area. A minimum of twenty-five (25) percent of the total site shall be dedicated to be open space.
(c)
Location of open Spaces and Recreational Areas. Open spaces and recreational areas shall be centrally located and shall be visually and physically connected to the streets. If not possible to provide a centrally located recreational area, justification shall be provided by the applicant and the alternative proposal will be subject to approval by the City Council upon evidence of sound and generally accepted planning and land use practices and principles.
(d)
Design of Open Spaces and Recreational Areas. Open space and recreational areas are encouraged be designed to use topographic, natural and/or historic site features to enhance the aesthetics of the site.
(e)
Mini-Parks. Developments with more than twenty-five (25) units shall provide a mini-park in an aggregate amount at a rate of:
i.
Two hundred (200) square feet per dwelling unit for the first fifty (50) dwelling units;
ii.
One hundred and fifty (150) square feet per dwelling unit for additional units above fifty (50) units and up to one hundred (100) dwelling units;
iii.
One hundred (100) square feet per dwelling unit for additional units above one hundred (100) dwelling units.
Figure 8.15 — Open Space/Recreation Location, Multifamily
(3)
Landscape.
(a)
Intent. The intent of this section is to preserve and protect existing healthy trees and ensure that new development provides shade and greenery to residents.
(b)
Street Trees. A minimum of one (1) large street tree shall be provided for every fifty (50) linear feet of right-of-way, adjacent to a development parcel. Alternatively, a minimum of one (1) medium street tree may be allowed for every thirty (30) linear feet of right-of-way, adjacent to a development parcel, if applicant demonstrates that it is impractical to plant the large street trees.
(c)
Lot Trees. The minimum number of required trees for multifamily development is calculated at a rate of fifteen (15) trees per net buildable acre.
(4)
Lighting.
(a)
Intent. The intent of this section is to ensure safety and convenience for the circulation of people and motor vehicles.
(b)
Areas to be lighted. Areas such as sidewalks, plazas, recreational areas, entrances, garbage disposal areas, and alleys shall be illuminated at night to ensure pedestrian safety. Lighting shall be provided at regular intervals to prevent dark pockets.
(c)
Design standards.
i.
Internal development lighting for pedestrian lighting areas shall have a maximum pole height of sixteen (16) feet. Development lighting for vehicular areas shall have maximum pole height of thirty-five (35) feet.
ii.
Lighting fixtures shall be consistent throughout the development and shall aesthetically complement the architecture of the building as to its style.
iii.
All lighting fixtures in public rights-of-way shall use Light Emitting Diode (LED) lighting.
iv.
Lighting fixtures shall use concealed source fixtures.
v.
Light poles shall have fluted bases.
vi.
Lighting in exclusively pedestrian areas may use illuminated bollards instead of light poles.
vii.
If the applicant proposes an innovative lighting design that does not comply with non-quantifiable standards, the applicant shall provide a justification and the proposal shall be submitted to the City Council for approval based upon an evaluation of the aesthetic of the design and its overall consistency with the proximate architectural features.
Figure 8.16 — Lighting, Multifamily
(5)
Guest Parking.
(a)
Intent. The intent of this section is to provide adequate parking for visitors and to not adversely impact proximate areas with overflow parking.
(b)
Guest parking Location. Multifamily development shall accommodate guest parking either on street or in a designated common area. Guest parking is encouraged to be evenly distributed within the site.
(c)
Guest parking depicted on the plans. The applicant shall depict the guest parking location on the plans.
(d)
Guest parking calculation. The calculation for the guest parking shall be zero point two-five (0.25) parking spaces per unit.
(6)
Signage.
(a)
Sign designs. Entrance signs (free standing signs, wall signs or projecting signs) shall be complementary to the architecture of the development.
(b)
Electronic changeable copy signs. Electronic changeable copy signs for the multifamily development are prohibited.
(B)
Building Siting
(1)
Building Orientation.
(a)
Intent. The intent of this section is to orient multifamily buildings front entrances towards the public or to private streets, common areas or courtyards (publicly accessible spaces), and to have multifamily buildings creating a sense of spatial enclosure along streets with buildings forming a "street wall" and defining "outdoor rooms".
(b)
Front entrances. One (1) primary front entrance per multifamily building unit shall be provided on the primary façade.
(c)
Façade classification.
i.
A façade that has a primary entrance door is a primary façade.
ii.
A façade that faces a public or private street is a primary façade. If the multifamily building is located on a corner lot that faces two (2) public streets, then both façades facing the streets shall be primary façades.
(d)
Relationship between buildings. Multifamily buildings shall face each other with a front-to-front or a back-to-back relationship depending on location relative to a street, lane or open space.
(e)
Minimum distance between buildings across each other. If multifamily buildings' primary façades face each other in a common area instead of across the street, the minimum distance between buildings across the common area shall be fifty (50) feet.
Figure 8.17 — Building Orientation, Multifamily
(a) Buildings facing two public streets with a visible rear façade
(b) Buildings facing a courtyard and private and public streets
(2)
Lot size, width and setbacks.
(a)
Intent. The intent of this section is to organize the location of multifamily buildings and accessory structures in relation to the street, to the lot and to other adjacent buildings in order to provide enough space for air circulation, insulation, vegetation, storm water filtration and privacy between building units.
(b)
Lot dimensions. There is no minimum lot width or minimum lot size for multifamily developments.
(c)
Front setbacks to principal structure. The minimum front setback shall be:
i.
Ten (10) feet for buildings on complete streets; or
ii.
Twenty (20) feet for buildings on non-complete streets.
(d)
Side setbacks to principal structure. The minimum side setback shall be fifteen (15) feet for three (3) story developments and twenty (20) feet for buildings with more than three (3) stories.
(e)
Rear setbacks to principal structures. The minimum rear setback for multifamily principal buildings shall be twenty (20) feet.
(f)
Architectural elements in the setback. Entry stoops, porches or architectural elements may encroach into the setback area up to five (5) feet.
(g)
Distance between buildings. The minimum distance between buildings internal to a development shall be twenty (20) feet.
Figure 8.18 — Distance between Buildings, Multifamily
(3)
On-site Parking.
(a)
Intent. The intent of this section is to provide adequate parking while minimizing the visibility of the parking area from the street view.
(b)
Minimum number of parking spaces. On-site parking spaces shall be provided based on the following calculation: one point six-five (1.65) parking spaces per unit, in addition to the guest parking standards.
(c)
Location of surface parking. Surface parking shall be located behind the principal building or behind the extension of the line of the primary façade.
(d)
Detached parking garages. Individual detached parking garages are permissible and shall be located behind the principal building.
(C)
Building Form
(1)
Articulation and Design.
(a)
Intent. The intent of this section is to reduce the apparent size of buildings and create visual interest. Building façades and roofs shall include architectural elements that vary to alleviate the appearance of a large building mass, break up long walls, express the individuality of each building, and enhance the character of the neighborhood/development.
(b)
Architectural elements. Architectural elements and variation shall not be restricted to a single façade. All sides of a building shall display a balanced level of quality and architectural interest consistent with sound and generally accepted development and architectural practices and principles.
(c)
Front entrance articulation. Front entrances shall be clearly defined with the use of architectural features including, but not limited to, porticos, recessed/projected access, stairs, columns, canopies, different materials or treatments.
(d)
Minimum number of articulation elements. The following minimum articulation elements are required:
i.
Primary façade: Three (3) elements.
ii.
Secondary façade: Two (2) elements.
iii.
Rear façade: One (1) element.
iv.
Rear façade visible from a right-of-way, but not fronting a right-of-way: two (2) elements
v.
If the building is placed in a corner of two (2) rights-of-way, an additional corner element is required.
(e)
Articulation elements.
i.
Arched, gabled, stepped or decorative parapet with cornice over building entrances, integrated with the building's massing and style.
ii.
Canopies, balconies, patios, porches or porticos, bay windows, steps, ornamental guardrails, pergolas, columns, all of which shall be integrated with the building's massing and style.
iii.
Vertical or horizontal modulation.
iv.
Additional peaked roof forms used as wall articulation.
v.
Overhangs or other roof treatments that provide shade and break the vertical plane, a minimum of three (3) feet deep that cover at least fifty (50) percent of the horizontal length of the façade.
vi.
Ornamental and structural articulations that are integrated into the building structure, consistent with the building's mass and scale. Vertical architectural treatments shall have a minimum width of twenty (20) inches and a projection or recession of a minimum of twelve (12) inches in depth.
vii.
If a rear façade is visible from a right-of-way but does not front a right-of-way, requiring two (2) articulation elements, enhanced perimeter landscape is permissible as one (1) of the two (2) required articulation elements. The landscaped area shall be a minimum five (5) feet wide and shall include groundcover and shrubs/vegetation that provide dense screening with a mature height of six (6) feet at a minimum, and one (1) understory tree or clusters of three (3) palm trees for each twenty-five (25) feet, or fraction thereof, of the linear building façade.
viii.
Corner articulation elements, including any of the above (except vii.), or a vertical wall signage, an associated plaza or common area, and/or public art.
ix.
Any other treatment that the approving authority determines to clearly and convincingly be consistent with the intent of this section and is consistent with sound and generally accepted land use planning and architecture practices and principles.
(f)
Articulation elements of accessory structures. Separate accessory structures on the site shall have similar and compatible architectural detail, design elements and roof design as the principal structure, consistent with sound and generally accepted architectural practices and principles
(g)
Application of articulation. Elements utilized to satisfy articulation requirements shall not be credited as satisfying other design requirements.
Figure 8.19 — Façade Articulation, Multifamily
(a) Examples of Façade Elements
(b) Examples of Modulation with Façade Elements
(2)
Roof Modulation.
(a)
Intent. The intent of this section is to ensure that visual interest also applies to roof treatment. Roof forms may be used to identify different functional areas within the building, to provide for additional light to enter the building, to reduce massing, to screen rooftop equipment, and to create movement along the roof line.
(b)
Roof design compatibility. Roofing forms, slopes, details, materials and overall design shall be compatible with the overall style, mass, scale and character of the buildings.
(c)
Gutters and downspouts. All roofs shall include gutters/downspouts that comply with all of the following:
i.
Drain directly into a cistern, landscaped area or storm drain system.
ii.
Match the trim or body color of the façade.
iii.
Are discreetly located to maximize aesthetics, unless of decorative in nature.
(d)
Vent pipes. Vent pipes that are visible from the streets by pedestrians shall be painted to match the color of the roof to make them less visible.
(e)
Number and roof modulation elements The following minimum roof modulation elements are required:
i.
Primary façade: Two (2) elements.
ii.
Secondary façade: One (1) element.
(f)
Roof modulation elements
i.
Uninterrupted roofline along the eave between roof modulation elements shall be no more than forty (40) feet.
ii.
Decorative parapets that are a minimum of three (3) feet in height above the finished roof.
iii.
Multiple peaks and/or roof planes.
iv.
A sloping roof with an average pitch of 3:12 or greater.
v.
Extension of window or façade elements up into the roof area.
vi.
Distinctive roof forms covering each building mass.
vii.
Same roof form with a different orientation of the ridge elements.
viii.
Same roof form with same orientation, but the roof has a minimum change in elevation of two point five (2.5) feet between each subdivision of the building.
ix.
Any other treatment that, the approving authority determines to be consistent with the intent of this Subsection and is consistent with sound and generally accepted land use planning or architectural practices and principles.
Figure 8.20 — Examples of Roof Articulation, Multifamily
(3)
Fenestration.
(a)
Intent. The intent of this section is to ensure identity and visual interest in multifamily building design and ensure proper natural light and ventilation to multifamily dwelling units.
(b)
Design standards. Doors, windows and other openings in a building exterior façade shall comply with all of the following:
i.
Fenestration elements (doors, windows and openings) shall be appropriately sized for the scale and style of the building on which they are located.
ii.
Windows, doors and/or openings shall occupy a minimum of twenty (20) percent of the area of the primary façade or façades that front a street, park, plaza or on-site courtyard and fifteen (15) percent of the area of the secondary façade.
iii.
A garage door can be creditable as fenestration element if providing a minimum of twenty (20) percent of its area as windows.
iv.
Windows shall provide day-lighting into the building.
v.
Windows shall be vertical in shape (height is at least twenty (20) percent greater than width). Buildings using large amounts of glass shall divide the glass into smaller panels achieving proportions emphasizing verticality.
Figure 8.21 — Fenestration, Multifamily
(4)
Materials.
(a)
Intent. The intent of this section is to use façade materials to provide character and attractiveness to the multifamily building(s). Materials shall be varied and contrasting either to differentiate buildings or parts of buildings.
(b)
Material consistency. Material treatment shall be consistent in all façades and shall be complementary to one another and appropriate for the architectural style.
(c)
Number of façade materials. The minimum number of building materials used on a primary façade and secondary façade shall be two (2), excluding fenestration, trims and decorative elements.
(d)
Change in materials. Changes in material shall generally occur when there is a change in the plane of the façade. The change in material is encouraged to occur on inside corners of the building.
(e)
Wrapping materials around building corners. Brick and stone materials shall wrap around corners to give an appearance of structural function and minimize a veneer appearance.
(f)
Brick and stone veneer. If used, brick and stone veneer shall be mortared to give the appearance of having a structural function.
(g)
Minimum and maximum percentages of specific façade materials.
i.
The minimum percentage of stone and/or brick in a primary façade shall be twenty (20) percent and the minimum percentage of stone and/or brick in a secondary façade shall be ten (10) percent.
ii.
The maximum percentage for stucco in a primary façade shall be forty (40) percent and the maximum percentage for wood panel (including painted or stained lap horizontal siding, vertical board, batten wood siding) shall be forty (40) percent.
iii.
The maximum percentage for stucco in a secondary façade shall be fifty (50) percent and the maximum percentage for wood panel (including painted or stained lap horizontal siding, vertical board, batten wood siding) shall be fifty (50) percent.
(h)
Percentage calculation. The percentage calculation shall be based on exterior walls, excluding fenestration, trims and decorative elements.
(i)
Permissible façade materials. High-quality façade materials, including but not limited to: brick, stone, wood panel (including painted or stained lap horizontal siding, vertical board, batten-wood siding) and stucco.
(j)
Prohibited façade materials. Prohibited façade materials include: untreated concrete block, plywood, unfinished lumber aluminum, textured T1-11, corrugated fiberglass, sheet metal or tin siding and any other materials determined by the City to be of similar nature of effect.
Figure 8.22 — Materials Multifamily
(5)
Colors.
(a)
Intent. The intent of this section is to ensure that colors are harmonious and add to the visual character of the building.
(b)
Prohibited colors and finishes. The following are prohibited on the exterior of any building, which are found by the City to be one or more of the following:
i.
Colors that are garish, gaudy, loud, excessive or ostentatious;
ii.
Colors that constitute a glaring and unattractive contrast to the surrounding buildings or area;
iii.
Colors that fluoresce under ultra-violet (UV) or black light.
iv.
Colors and finishes that are pearlescent or excessively reflective in nature.
(c)
Maximum number of colors. A maximum of three (3) colors may be used on the exterior walls of any building plus two (2) additional colors for trim/cornice work.
(d)
Natural materials. Unpainted materials such as brick and stone do not count as colors.
(6)
Height.
(a)
Building height. The maximum height for multifamily developments shall be forty-five (45) feet in any zoning district within the City. Multifamily developments located within the Downtown Mixed-Use District - Village Core (MUD-VC) maximum height shall comply with Article VI, Exhibit C, Maximum Buildable Heights by Zone.
(D)
Accessory Structures
(1)
Fences and Walls.
(a)
Height.
i.
Fences and walls located in the front yard/setback (excluding retaining and subdivision perimeter walls) shall have a maximum height of three (3) feet and shall observe a minimum setback of two (2) feet from the right-of-way.
ii.
Rear and side yard fences and walls shall have a maximum height of six (6) feet and the minimum setback shall be zero (0).
iii.
Fence and wall posts shall be no more than twelve (12) inches higher than the fence or wall.
iv.
Multifamily perimeter walls and fences shall have a maximum height of six (6) feet.
(b)
Material consistency. Fences and walls shall be constructed with materials that are consistent or complementary to the architecture of the development.
(c)
Permissible wall finishing materials. Permissible wall finishing materials include brick and stone.
(d)
Permissible fence materials. Permissible fence materials include wood, vinyl, anodized or powder-coated aluminum and wrought iron. Materials such as barbed wire, razor wire and chain link are prohibited.
(2)
Service Areas.
(a)
Intent. The intent of this section is to ensure that service areas, loading areas, refuse/recycling collection containers (garbage dumpsters) are located in areas that are not visible from public streets by pedestrians.
(b)
Design requirements for refuse/recycling collection containers garbage dumpsters).
i.
Refuse/recycling collection containers (garbage dumpsters) shall be structurally screened.
ii.
Screening shall be a minimum one (1) foot greater in height than the element being screened.
iii.
Structural screening shall be consistent with the architectural elements, materials, and colors of the principal structure.
iv.
The minimum rear and side setback to refuse/recycling collection containers shall be five (5) feet.
Figure 8.23 — Screening of Service Areas, Multifamily
(3)
Mechanical Equipment.
(a)
Intent. The intent of this section is to ensure that mechanical equipment is located in areas that are not visible from public streets by pedestrians.
(b)
Location. Mechanical equipment shall be placed on the roof, on the side, or in the rear of each building.
(c)
Roof-top equipment design requirements.
i.
Roof-top mechanical equipment shall be completely screened from all ground level views by a parapet wall or other architectural feature, which feature shall be architecturally integrated to the building.
ii.
The parapet screen height shall be at least one (1) foot higher than the mechanical equipment being screened. In exceptional cases, if the applicant cannot meet this requirement, the applicant may propose a different screening height if demonstrated by the line of sight that the equipment is not visible from the pedestrian view, in which case it shall not be considered a deviation.
iii.
Structural screening shall be consistent with the architectural elements, materials and colors of the principal structure. Whenever practicable, these areas and equipment shall be integrated into the main structure.
(d)
Ground-mounted equipment design requirements.
i.
Ground-mounted equipment shall not be visible from public rights-of-way, by pedestrians or adjacent residential properties.
ii.
Screening shall be provided at a minimum one (1) foot greater in height than the area/equipment being screened.
iii.
Structural screening shall be consistent with the architectural elements, materials, and colors of the principal structure. Whenever practicable, these areas and equipment shall be integrated into the main structure.
iv.
The minimum rear and side setbacks for ground-mounted equipment shall be five (5) feet.
Figure 8.24 — Screening of Mechanical Equipment, Multifamily
(4)
Solar Panels.
(a)
Intent. The intent of this section is to allow green building practices by permitting solar panels in multifamily development while keeping the aesthetic character of the building and the development.
(b)
Locational requirements.
i.
Solar panels that are not integrated in the architecture of the façade or roof shall be hidden from sight and shall be treated as mechanical equipment.
ii.
Solar panels and photovoltaic elements that are integrated into the building architecture shall comply with the architecture articulation or roof modulation.
(5)
Other Detached Accessory Structures (pergolas, storage, cabanas, gazebos, detached individual garages, etc.).
(a)
Location. Detached accessory structures for the development shall be located to the rear of the principal structure on multifamily lots, unless they have a decorative purpose such as trellis, pergolas or cabanas, which can be placed on the side of the principal structure.
(b)
Design standards.
i.
Detached accessory structures such as pergolas and cabanas shall provide the following minimum setbacks: front setback: fifteen (15) feet; side setback: five (5) feet; and rear setback: ten (10) feet.
ii.
Detached accessory buildings such as club houses and gyms shall observe the same minimum setbacks as the principal structure.
iii.
The maximum height of a detached accessory structure shall be the same as the principal structure.
(Ord. No. 1647 , § 4, 2-20-17)
(A)
Site Design
(1)
Streets/Alleys/Walkways.
(a)
Intent. The intent of this section is to ensure that development provides internal and external circulation connectivity and safety as may be required to protect the public interest.
(b)
Sidewalks on both sides of a street. Private and public streets within the development shall provide sidewalks on both sides of the public or private street.
(c)
Street connectivity. New streets, as defined by F.S. § 334.03, (public and private) shall feature an integrated pedestrian circulation network within the development and shall be extended and integrated into the existing public street system. Where street connections are not possible, pedestrian and bike paths shall be provided as an alternative, unless demonstrated that such connection is impracticable.
(d)
Gated developments and cul-de-sacs. Gated developments and cul-de-sacs are discouraged. If a project proposes to be gated, the applicant shall submit justification to the Land Use Administrator and the proposal shall be subject to City Council approval, which determination shall be made based upon an evaluation of the public interest and internal orientation and connectivity evaluations.
(e)
Access points. Developments with more than fifty (50) dwelling units or more than thirty thousand (30,000) square feet shall provide a minimum of two (2) access points.
(f)
Minimum widths of streets and rights-of-way. Internal streets (public and private) shall have a minimum width of fifty (50) feet, unless otherwise approved by the City Engineer, based upon sound and generally accepted engineering practices and principles.
(g)
Minimum widths of alleys. Internal alleys shall have a minimum width of sixteen (16) feet of pavement and a total width of twenty (20) feet.
(h)
Minimum widths of sidewalks. Sidewalks shall have a minimum width of five (5) feet clear of vehicle overhangs.
(i)
Walkways between buildings. A walkway shall be provided between building blocks to access common areas.
(2)
Open Space.
(j)
Intent. The intent of this section is to provide a balance between developed areas and undeveloped areas in the City, which is consistent with sound and generally accepted planning and land use practices and principles.
(k)
Minimum open space area. A minimum of twenty-five (25) percent of the total site development shall be dedicated to be open space.
(l)
Location of open spaces and recreational areas (if applicable). Open spaces and recreational areas (if applicable) shall be centrally located and shall be visually and physically connected to the streets. If not possible to provide a centrally located recreational area, justification shall be provided by the applicant and the alternative proposal will be subject to approval by the City Council upon evidence of sound and generally accepted planning and land use practices and principles.
(m)
Design of open spaces and recreational area.
i.
Open space and recreational area (if applicable) are encouraged to be designed to use topographic, natural and/or historic site features to enhance the aesthetics of the site.
ii.
In mixed-use developments where recreational areas are required, elevated terraces may be used for recreational purposes, but they will not count as open space requirements.
(n)
Mini-parks. Mixed-use developments with more than twenty-five (25) residential units shall provide a mini-park in an aggregate amount at a rate of:
i.
Two hundred (200) square feet per dwelling unit for the first fifty (50) dwelling units;
ii.
One hundred and fifty (150) square feet per dwelling unit for additional units above fifty (50) units and up to one hundred (100) dwelling units;
iii.
One hundred (100) square feet per dwelling unit for additional units above one hundred (100) dwelling units.
Figure 8.25 — Open Space and Pedestrian Connections, Mixed-Use
(3)
Landscape.
(a)
Intent. The intent of this section is to preserve and protect existing healthy trees and ensure that new development provides shade and greenery to residents.
(b)
Street trees. A minimum of one (1) large street tree shall be provided for every fifty (50) linear feet of right-of-way, adjacent to a development parcel. Alternatively, a minimum of one (1) medium street tree may be allowed for every thirty (30) linear feet of right-of-way, adjacent to a development parcel, if applicant demonstrates that it is impractical to plant the large street trees..
(c)
Lot trees. The minimum number of required trees for mixed-use development is calculated at a rate of fifteen (15) trees per net buildable acre.
(4)
Lighting.
(a)
Intent. The intent of this section is to ensure safety and convenience for the circulation of people and motor vehicles.
(b)
Areas to be lighted. Areas such as sidewalks, plazas, recreational areas, entrances, garbage disposal areas, and alleys shall be illuminated at night to ensure public safety. Lighting shall be provided at regular intervals to prevent dark pockets.
(c)
Design standards.
i.
Internal development lighting for pedestrian areas shall have a maximum pole height of sixteen (16) feet. Development lighting for vehicular areas shall have maximum pole height of thirty-five (35) feet.
ii.
Lighting fixtures shall be consistent throughout the development and shall complement the architecture of the building as to its style.
iii.
All lighting fixtures in public rights-of-way shall use Light Emitting Diode (LED) lighting.
iv.
Lighting fixtures shall use concealed source fixtures.
v.
Light poles shall have fluted bases.
vi.
Lighting in exclusively pedestrian areas may use illuminated bollards instead of light poles.
vii.
If the applicant proposes an innovative lighting design that does not comply with non-quantifiable standards, the applicant shall provide a justification and the proposal shall be submitted to the City Council for approval based upon an evaluation of the aesthetic of the design and its overall consistency with the proximate architectural features.
Figure 8.26 — Lighting, Mixed-Use
(5)
Guest Parking.
(a)
Intent. The intent of this section is to provide adequate parking for residential guests (if one of the components of the mixed-use is residential) and to prevent adversely impacting proximate areas with overflow parking.
(b)
Guest parking location. Mixed-use development shall accommodate guest parking in a designated common area if one of the components of the mixed-use is residential.
(c)
Guest parking depicted on the plans. The applicant shall depict the guest parking location on the plans if one of the components of the mixed-use is residential.
(d)
Guest parking calculation. The calculation for guest parking shall be zero point two-five (0.25) parking spaces per residential unit.
(6)
Signage.
(a)
Sign designs. Entrance signs (free standing signs or wall signs) shall be complementary to the architecture of the development.
(B)
Building Siting
(1)
Building Orientation.
(a)
Intent. The intent of this section is to orient mixed-use development front entrance towards the public or to private streets, common areas or courtyards (publicly accessible spaces) and to have mixed-use buildings creating a sense of spatial enclosure along streets with buildings forming a "street wall" and defining "outdoor rooms".
(b)
Front entrances. One (1) primary front entrance per mixed-use building unit shall be provided on the primary façade.
(c)
Façade classification.
i.
A façade that has a primary entrance door is a primary façade.
ii.
A façade that faces a public or private street is a primary façade. If the mixed-use building is located on a corner lot that faces two (2) public streets, then both façades facing the streets shall be primary façades.
(d)
Relationships between buildings. Mixed-use buildings shall face each other with a front-to-front or a back-to-back relationship depending on location relative to a street, lane or open space.
(e)
Minimum distance between buildings across each other. If mixed-use buildings face each other in a common area instead of across the street, the minimum distance between buildings across the common area shall be fifty (50) feet.
Figure 8.27 — Building Orientation, Mixed-Use
(a) Buildings facing a courtyard and public streets
(b) Buildings facing two public streets with a visible rear façade
(2)
Lot Size, Width and Setbacks.
(a)
Intent. The intent of this section is to organize the location of mixed-use buildings and accessory structures in relation to the street, to the lot and to other adjacent buildings in order to provide enough space for air circulation, insulation, vegetation, storm water filtration and privacy between building units.
(b)
Lot dimensions. There is no minimum lot width or minimum lot size for mixed-use developments.
(c)
Front setbacks to principal structure. The minimum front setback shall be:
i.
Ten (10) feet for buildings on complete streets; or
ii.
Twenty (20) feet for buildings on non-complete streets;
(d)
Side setbacks to principal structure. The minimum side setback shall be fifteen (15) feet for three (3) story developments and twenty (20) feet for buildings with more than three (3) stories.
(e)
Rear setbacks to principal structures. The minimum rear setback for mixed-use principal buildings shall be twenty (20) feet.
(f)
Architectural elements in the setback. Entry stoops, porches or architectural elements may encroach into the setback area up to five (5) feet.
(g)
Distance between buildings. The minimum distance between buildings internal to a development shall be twenty (20) feet.
Figure 8.28 — Building Spacing, Mixed-Use
(3)
On-site Parking.
(a)
Intent. The intent of this section is to provide adequate parking while minimizing the visibility of the parking area from the street view.
(b)
Minimum number of parking spaces. On-site parking spaces shall be provided based on the following calculation: one point six-five (1.65) parking spaces per multifamily residential unit for the residential component of the mixed-use; plus the minimum parking requirement for the commercial and office components as required for specific uses established in Article XIII, except as provided in Subsection (e).
(c)
Location of surface parking. On-site surface parking shall be located behind the principal building or behind the extension of the line of the primary façade except along arterial roads, where one row of parking may be allowed in the front of the building.
(d)
Charging stations for electric cars. A minimum of one (1) electric vehicle charging station per development requiring more than fifty (50) parking spaces. The charging station shall serve two (2) parking spaces.
(e)
Alternative shared parking. An alternative shared parking calculation for mixed-use development may also be proposed when it is asserted that the different uses may not require the necessity of exclusive use of their parking spaces and may share their parking spaces distributed over different hours of the day. When any land or building is used for two (2) or more categories of uses, the minimum total number of required parking spaces shall be determined by the following procedures:
i.
First, categorize the uses according to the seven (7) categories listed in the use column of Table 8.1.
ii.
Second, add together the minimum required parking for each individual use category, using the ratios set out in Article XIII, Table 13.1: Table of Parking Requirements.
iii.
Third, subtract from each individual sum the number of spaces which are reserved for use by specified individuals or classes of individuals within the use category.
iv.
Fourth, create a shared parking matrix by multiplying the results of the third step by the percentages listed in Table 8.1 for each use category and time period.
v.
Fifth, add together the cells of each of the six (6) vertical columns in the shared parking matrix.
vi.
The minimum parking requirement is the highest sum resulting from the foregoing addition, plus the total number of spaces which are reserved for use by specific individuals or classes of individuals.
vii.
The maximum reduction of required parking using shared parking calculations shall be twenty-five (25) percent.
viii.
A shared parking program must be approved in a binding agreement in a form approved by the City Attorney.
Table 8.1. Shared Parking Calculation
Figure 8.29 — On-site Parking Location, Mixed-Use
(C)
Building Form
(1)
Articulation and Design.
(a)
Intent. The intent of this section is to reduce the apparent size of buildings and create visual interest. Building façades and roofs shall include architectural elements that vary to alleviate the appearance of a large building mass, break up long walls, express the individuality of each building, and enhance the character of the neighborhood/development.
(b)
Architectural elements. Architectural elements and variation shall not be restricted to a single façade. All sides of a building shall display a balanced level of quality and architectural interest consistent with sound and generally accepted development and architectural practices and principles.
(c)
Front entrance articulation. Front entrances shall be clearly defined with the use of architectural features including, but not limited to, porticos, recessed/projected access, stairs, columns, canopies, different materials or treatments.
(d)
Minimum number of articulation elements. The following minimum articulation elements are required:
i.
Primary façade: Three (3) elements
ii.
Secondary façade: Two (2) elements
iii.
Rear façade: One (1) element
iv.
Rear façade visible from a right-of-way, but not fronting a right-of-way: two (2) elements
v.
If the building is placed in a corner of two (2) rights-of-way, an additional corner element is required.
(e)
Articulation elements. Articulation elements include:
i.
Arched, gabled, stepped or decorative parapet with cornice over building entrances, integrated with the building's massing and style.
ii.
Canopies, balconies, patios, porches or porticos, bay windows, steps, ornamental guardrails, pergolas, columns, all of which shall be integrated with the building's massing and style.
iii.
Vertical or horizontal modulation.
iv.
Additional peaked roof forms used as wall articulation.
v.
Overhangs or other roof treatments that provide shade and break the vertical plane, a minimum of three (3) feet deep that cover at least fifty (50) percent of the horizontal length of the façade.
vi.
Arches, arched forms, gallery or arcade that cover at least fifty (50) percent of the horizontal length of the façade.
vii.
Ornamental and structural articulations that are integrated into the building structure, consistent with the building's mass and scale. Vertical architectural treatments shall have a minimum width of twenty (20) inches and a projection or recession of a minimum of twelve (12) inches in depth.
viii.
If a rear façade is visible from a right-of-way but does not front a right-of-way, requiring two (2) articulation elements, enhanced perimeter landscape is permissible as one (1) of the two (2) required articulation elements. The landscaped area shall be a minimum five (5) feet wide and shall include groundcover and shrubs/vegetation that provide dense screening with a mature height of six (6) feet at a minimum, and one (1) understory tree or clusters of three (3) palm trees for each twenty-five (25) feet, or fraction thereof, of the linear building façade.
ix.
Corner articulation elements including any of the above (except viii.) or a vertical wall signage, an associated plaza or common area, and public art.
x.
Any other treatment that, the approving authority determines to clearly and convincingly be consistent with the intent of this section and is consistent with sound and generally accepted land use planning and architectural practices and principles.
(f)
Articulation elements of accessory structures. Separate accessory structures on the site shall have similar and compatible architectural detail, design elements and roof design as the principal structure, consistent with sound and generally accepted architectural practices and principles.
(g)
Application of articulation. Elements utilized to count to satisfy wall articulation requirements shall not be credited as satisfying other design requirements.
Figure 8.30 — Façade Articulation, Mixed-Use
(2)
Roof Modulation.
(a)
Intent. The intent of this section is to ensure that visual interest also applies to roof treatment. Roof forms may be used to identify different functional areas within the building, to provide for additional light to enter the building, to reduce massing, to screen rooftop equipment, and to create movement along the roof line.
(b)
Roof design compatibility. Roofing forms, slopes, details, materials, and overall design shall be compatible with the overall style and character of the buildings.
(c)
Gutters and downspouts. All roofs shall include gutters/downspouts that comply with all of the following:
i.
Drain directly into a cistern, landscaped area or storm drain system.
ii.
Match the trim or body color of the façade.
iii.
Are discreetly located to maximize aesthetics, unless decorative in nature.
(d)
Vent pipes. Vent pipes that are visible from the streets and pedestrian areas shall be painted to match the color of the roof to make them less visible.
(e)
Number and roof modulation elements. The following minimum roof modulation elements are required:
i.
Primary façade: Two (2) elements.
ii.
Secondary façade: One (1) element.
(f)
Roof modulation elements.
i.
Uninterrupted roofline along the eave between roof modulation elements shall be no more than forty (40) feet.
ii.
Decorative parapets that are a minimum of three (3) feet in height above the finished roof.
iii.
Multiple peaks and/or roof planes.
iv.
A sloping roof with an average pitch of 3:12 or greater.
v.
Extension of window or façade elements up into the roof area.
vi.
Distinctive roof forms covering each building mass.
vii.
Same roof form with a different orientation of the ridge elements.
viii.
Same roof form with same orientation, but the roof has a minimum change in elevation of two point five (2.5) feet between each subdivision of the building.
ix.
Any other treatment that the approving authority determines to be consistent with the intent of this Subsection and is consistent with sound and generally accepted land use planning or architectural practices and principles.
Figure 8.31 — Roof Modulation, Mixed-Use
(3)
Fenestration.
(a)
Intent. The intent of this section is to ensure identity and visual interest in mixed-use building design and ensure proper natural light and ventilation to mixed-use development.
(b)
Design standards. Doors, windows, and other openings in a building exterior façade shall comply with the following:
i.
Fenestration elements (doors, windows and openings) shall be appropriately sized for the scale and style of the building.
ii.
Windows, doors and/or openings shall occupy a minimum of thirty (30) percent of the area of the ground-level primary façade or façades that front a street, park, plaza or on-site courtyard, and twenty (20) percent of the ground level of the secondary façades.
iii.
Windows, doors and/or openings shall occupy a minimum of twenty (20) percent of the area of the upper-level primary and secondary façades or façades that front a street, park, plaza or on-site courtyard.
iv.
Windows shall provide both visibility and day-lighting into the building.
v.
Windows shall be vertical in shape (height is at least twenty (20) percent greater than width). Buildings using large amounts of glass shall divide the glass into smaller panels achieving proportions emphasizing verticality.
Figure 8.32 — Examples of Fenestration Elements, Mixed-Use
(4)
Materials.
(a)
Intent. The intent of this section is to use façade materials to provide character and attractiveness to mixed-use building(s). Materials shall be varied and contrasting either to differentiate buildings or parts of buildings
(b)
Material consistency. Material treatment shall be consistent in all façades and shall be complementary to one another and appropriate for the architectural style.
(c)
Number of façade materials. The minimum number of building materials used on a primary façade and secondary façade shall be two (2), excluding fenestration, trims and decorative elements.
(d)
Change in materials. Changes in material shall generally occur when there is a change in the plane of the façade. The change in material shall occur on inside corners of the building.
(e)
Wrapping materials around building corners. Brick and stone materials shall wrap around corners to give an appearance of structural function and minimize a veneer appearance.
(f)
Brick and stone veneer. If used, brick and stone veneer shall be mortared to give the appearance of having a structural function.
(g)
Minimum and maximum percentages of specific façade materials.
i.
The minimum percentage of stone and/or brick in a primary façade shall be twenty (20) percent and the minimum percentage of stone and/or brick in a secondary façade shall be ten (10) percent.
ii.
The maximum percentage for stucco in a primary façade shall be forty (40) percent and the maximum percentage for wood panel (including painted or stained lap horizontal siding, vertical board, batten wood siding) shall be forty (40) percent.
iii.
The maximum percentage for stucco in a secondary façade shall be fifty (50) percent and the maximum percentage for wood panel (including painted or stained lap horizontal siding, vertical board, batten wood siding) shall be fifty (50) percent.
(h)
Percentage calculation. The percentage calculation shall be based on exterior walls, excluding fenestration, trims and decorative elements.
(i)
Permissible façade materials. High-quality façade materials, including but not limited to: brick, stone, wood panel (including painted or stained lap horizontal siding, vertical board, batten-wood siding) and stucco.
(j)
Prohibited façade materials. Prohibited façade materials include: untreated concrete block, plywood, unfinished lumber aluminum, textured T1-11, corrugated fiberglass, sheet metal or tin siding and any other materials determined by the City to be of similar nature of effect.
Figure 8.33 — Façade Materials Mixed-Use
(5)
Colors.
(a)
Intent. The intent of this section is to ensure that colors are harmonious and add to the visual character of the building.
(b)
Prohibited colors and finishes. The following are prohibited on the exterior of any building, which are found by the City to be one or more of the following:
i.
Colors that are garish, gaudy, loud, excessive, or ostentatious;
ii.
Colors that constitute a glaring and unattractive contrast to the surrounding buildings or area;
iii.
Colors that fluoresce under ultra-violet (UV) or black light; or
iv.
Colors and finishes that are pearlescent or excessively reflective in nature.
(c)
Maximum number of colors. A maximum of three (3) colors may be used on the exterior walls of any building, plus two (2) additional colors for trim/cornice work.
(d)
Natural materials. Unpainted materials such as brick and stone do not count as colors.
(6)
Height.
(a)
Building height. The maximum height for mixed-use developments in all zoning districts shall be forty-five (45) feet. Mixed-use developments located along development corridors, as defined by the Comprehensive Plan, shall have a maximum height of sixty (60) feet, except those located within the Downtown Mixed-Use District—Village Core (MUD-VC), which height shall comply with Article VI, Exhibit C, Maximum Buildable Heights by Zone.
(D)
Accessory Structures
(1)
Fences and Walls.
(a)
Height.
i.
Fences and walls located in the front setback (excluding retaining and development walls) shall have a maximum height of three (3) feet. Rear and side yard fences and walls shall have a maximum height of six (6) feet. Fence and wall posts maximum height shall not exceed twelve (12) inches over the fence or wall height.
ii.
Mixed-use perimeter walls shall have a maximum height of six (6) feet.
(b)
Material consistency. Fences and walls shall be constructed with materials that are consistent or complementary to the architecture of the development.
(c)
Permissible wall finishing materials. Permissible wall finishing materials include: brick and stone.
(d)
Permissible/prohibited fence materials. Permissible fence materials include wood, vinyl, anodized or powder-coated aluminum and wrought iron. Materials such as barbed wire, razor wire and chain link are prohibited.
(2)
Service Areas.
(a)
Intent. The intent of this section is to ensure that service areas, loading areas, refuse/recycling collection containers (garbage dumpsters) are located in areas that are not visible from public streets by pedestrians.
(b)
Design requirements for refuse/recycling collection containers garbage dumpsters).
i.
Refuse/recycling collection containers (garbage dumpsters) shall be screened.
ii.
Screening shall be a minimum one (1) foot greater in height than the element being screened.
iii.
Structural screening shall be consistent with the architectural elements, materials, and colors of the principal structure and shall completely obstruct the view of the element being screened.
iv.
Whenever practicable, these areas and equipment shall be integrated into the main structure.
v.
The minimum rear and side setback to refuse/recycling collection containers shall be five (5) feet.
Figure 8.34 — Screening of Service Areas, Mixed-Use
(3)
Mechanical Equipment.
(a)
Intent. The intent of this section is to ensure that mechanical equipment is located in areas that are not visible from public streets by pedestrians.
(b)
Location. Mechanical equipment shall be placed on the roof, on the side, or in the rear of each building.
(c)
Roof-top equipment design requirements.
i.
Roof-top mechanical equipment shall be completely screened from all ground level views by a parapet wall or other architectural feature, which feature shall be architecturally integrated to the building.
ii.
The parapet screen height shall be at least one (1) foot higher than the mechanical equipment being screened. In exceptional cases, if the applicant cannot meet this requirement, the applicant may propose a different screening height if demonstrated by the line of sight that the equipment is not visible from the pedestrian view, in which case it shall not be considered a deviation.
iii.
Structural screening shall be consistent with the architectural elements, materials and colors of the principal structure. Whenever practicable, these areas and equipment shall be integrated into the main structure.
(d)
Ground-mounted equipment design requirements.
i.
Ground-mounted equipment shall not be visible from public rights-of-way, by pedestrians or adjacent residential properties.
ii.
Screening shall be provided at a minimum one (1) foot greater in height than the area/equipment being screened.
iii.
Structural screening shall be consistent with the architectural elements, materials, and colors of the principal structure. Whenever practicable, these areas and equipment shall be integrated into the main structure.
iv.
The minimum rear and side setback to ground-mounted equipment shall be five (5) feet.
Figure 8.35 — Screening of Mechanical Equipment, Mixed-Use
(4)
Solar Panels.
(a)
Intent. The intent of this section is to allow green building practices by permitting solar panels in mixed-use development while keeping the aesthetic character of the building and the development.
(b)
Location requirements.
i.
Solar panels that are not integrated in the architecture of the façade or roof shall be hidden from sight and shall be treated as mechanical equipment.
ii.
Solar panels and photovoltaic elements that are integrated into the building architecture shall comply with the architecture articulation and/or roof elements.
(5)
Other Detached Accessory Structures (pergolas, cabanas, gazebos, garages, etc.).
(a)
Location. Detached accessory structures shall be located to the rear of the principal structure on mixed-use developments, unless they have a decorative purpose such as trellis, pergolas, cabanas and etc., which can be placed at the side of the principal structure.
(b)
Design standards.
i.
Detached accessory structures shall be consistent with the architectural elements, materials, and colors of the principal structure.
ii.
Detached accessory structure for the development shall be setback a minimum of five (5) feet from the rear, and a minimum of five (5) feet from the side property line.
iii.
In the case of a corner lot, the detached accessory structure shall be setback from the street-side property line no less than the minimum setback for the principal structure.
iv.
The maximum height of a detached accessory structure shall be twelve (12) feet. If any point of a detached accessory structure exceeds twelve (12) feet in height, the entire structure must be setback an additional two (2) feet for every one (1) foot of height which exceeds twelve (12) feet.
(Ord. No. 1647 , § 4, 2-20-17)
(A)
Site Design
(1)
Streets/Alleys/Walkways.
(a)
Intent. The intent of this section is to ensure that the development provides internal and external circulation connectivity and safety as may be required to protect the public interest.
(b)
Sidewalks on both sides of a street. Private and public streets within the development shall provide sidewalks on both sides of the public or private street.
(c)
Street connectivity. New streets, as defined by F.S. § 334.03, (public and private) shall feature an integrated pedestrian circulation network within the development and shall be extended and integrated into the existing public street system. Where street connections are not possible, pedestrian and bike paths shall be provided as an alternative, unless demonstrated that such connection is impracticable.
(d)
Access points. Commercial and Office development with more than thirty thousand (30,000) square feet of building footprint shall provide a minimum of two (2) access points.
(e)
Minimum widths of streets and rights-of-way. Internal streets (public and private) shall have a minimum width of fifty (50) feet, unless otherwise approved by the City Engineer, based upon sound and generally accepted engineering practices and principles.
(f)
Minimum widths of alleys. Internal alleys shall have a minimum width of sixteen (16) feet of pavement and a total width of twenty (20) feet.
(g)
Minimum width of sidewalks. Sidewalks shall have a minimum width of five (5) feet clear of vehicle overhangs.
(h)
Walkways between buildings. A walkway shall be provided between building blocks to access common areas.
(i)
Cross-access with adjoining commercial/office areas. Cross-access with adjoining commercial/office areas is required whenever possible and shall be implemented by means of a cross-access easement agreement with adjoining neighbors in a form approved by the City Attorney.
Figure 8.36 — Pedestrian Connections, Office/Commercial
(a)
(b)
(2)
Open Space and Pedestrian Amenities.
(a)
Intent. The intent of this section is to provide a balance between developed areas and undeveloped areas in the City, which is consistent with sound and generally accepted planning and land use practices and principles.
(b)
Minimum open space. A minimum of twenty-five (25) percent of the total site development shall be dedicated to be open space.
(c)
Design of pedestrian amenities.
i.
Pedestrian amenities such as landscaped patios and plazas are encouraged in all developments and are required for developments with an individual building exceeding thirty thousand (30,000) square feet in size.
ii.
The minimum area for each of the landscaped patio or plaza shall be four hundred (400) square feet.
Figure 8.37 — Open Space and Plazas, Office/Commercial
(3)
Landscape.
(a)
Intent. The intent of this section is to preserve and protect existing healthy trees and ensure that the new development provides shade and greenery.
(b)
Street trees. A minimum of one (1) large street tree shall be provided for every fifty (50) linear feet of right-of-way, adjacent to a development parcel. Alternatively, a minimum of one (1) medium street tree may be allowed for every thirty (30) linear feet of right-of-way, adjacent to a development parcel, if applicant demonstrates that it is impractical to plant the large street trees.
(c)
Lot trees. The minimum number of required trees for office and commercial development is calculated at a rate of 15 trees per net buildable acre for office and 12 trees per net buildable acre for commercial.
(4)
Lighting.
(a)
Intent. The intent of this section is to ensure safety and convenience for the circulation of people and motor vehicles.
(b)
Areas to be lighted Areas such as sidewalks, plazas, entrances, garbage disposal areas, alleys shall be illuminated at night to ensure public safety. Lighting shall be provided at regular intervals to prevent dark pockets.
(c)
Design standards.
i.
Internal development lighting for pedestrian areas shall have a maximum pole height of sixteen (16) feet. Development lighting for vehicular areas shall have a maximum pole height of thirty-five (35) feet.
ii.
Lighting fixtures shall be consistent throughout the development and shall complement the architecture of the building as to its style.
iii.
All lighting fixtures in public rights-of-way shall use Light Emitting Diode (LED) lighting.
iv.
Lighting fixtures shall use concealed source fixtures.
v.
Light poles shall have fluted bases.
vi.
Lighting in exclusively pedestrian areas may use illuminated bollards instead of light poles.
vii.
If the applicant proposes an innovative lighting design that does not comply with non-quantifiable standards, the applicant shall provide a justification and the proposal shall be submitted to the City Council for approval based upon an evaluation of the aesthetic of the design and its overall consistency with the proximate architectural features.
Figure 8.38 — Lighting Office/Commercial
(5)
Signage.
(a)
Sign designs. Permanent signs, such as freestanding signs, wall signs, large, projecting signs, etc., shall be complementary to the architecture of the development.
(B)
Building Siting
(1)
Building Orientation.
(a)
Intent. The intent of this section is to orient the development front entrance towards the public or to private street and to have office and commercial buildings creating a sense of spatial enclosure along streets with buildings forming a "street wall" and defining "outdoor rooms".
(b)
Front entrances. One (1) primary front entrance per office/commercial building shall be provided on the primary façade.
(c)
Façade classification.
i.
A façade that has a primary entrance door is a primary façade.
ii.
A façade that faces a public or private street is a primary façade. If a building is located in a corner lot that faces two (2) public streets, then both façades facing the streets shall be primary façades.
(d)
Relationship between buildings. When consistent with Section 8.7(B)(1)(a) and when a development has several buildings, the buildings shall face each other with a front-to-front or a back-to-back relationship depending on location relative to a street, lane or open space.
(e)
Minimum distance between buildings' primary façades across from each other. If the primary façade of office/commercial buildings face from each other in a common area instead of across the street, the minimum distance between buildings across the common area shall be fifty (50) feet.
Figure 8.39 — Building Orientation, Office/Commercial
(2)
Lot Size, Width and Setbacks.
(a)
Intent. The intent of this section is to organize the location of office, commercial buildings and accessory buildings in relation to the street, to the lot and to other adjacent buildings in order to provide enough space for air circulation, insulation, vegetation, storm water filtration and privacy between building units.
(b)
Lot dimensions. There is no minimum lot width or minimum lot size for office and commercial development.
(c)
Setbacks to principal structure. The minimum setbacks are the setbacks established in Section 4.12, Table 4.2: Table of Lot Use Regulations; Section 6.3, Table 6.2: Building Setbacks; Section 6.4(F)(4)(b), Setbacks; and Section 6.4(G)(4)(c), Setbacks, according to the specific zoning district.
(d)
Detached garages and detached accessory buildings.
i.
Detached garages and detached accessory buildings shall be located behind the main principal buildings and concealed from the right-of-way as much as practicable, except as provided in Section 8.7(D)(5)(a).
ii.
The minimum rear and side setbacks for detached garages and accessory buildings shall be ten (10) feet.
(e)
Architectural elements in the setbacks. Entry stoops, porches or architectural elements may encroach into the setback area up to five (5) feet.
(f)
Distance between buildings. The minimum distance between buildings internal to a development shall be fifteen (15) feet, except as provided in Section 8.7(B)(1)(e).
(3)
On-site Parking.
(a)
Intent. The intent of this section is to provide adequate parking while minimizing the visibility of parking area from the street view.
(b)
Location of surface parking.
i.
On-site surface parking shall be placed behind the buildings, except as provided in ii.
ii.
One row of parking is allowed in the front of the building along arterial roads.
iii.
Ancillary structured garages shall be placed behind or below the building.
(c)
Minimum number of parking spaces. On-site minimum parking requirement is provided for specific uses in Article XIII, Table 13.1, Table of Parking Requirements and Article VI, Table 6.5, Off-Street Parking Requirements.
(d)
Charging stations for electric cars. A minimum of one (1) electric vehicle charging station per development requiring more than fifty (50) parking spaces. The charging station shall serve two (2) parking spaces.
(C)
Building Form.
(1)
Massing.
(a)
Intent. The intent of this section is to encourage human scale elements in building design, and to reduce the mass of large buildings. Breaks in mass are encouraged to relate to structural systems and the organization of interior space.
(b)
Maximum footprint of individual buildings. The maximum footprint for any individual building in a parcel proposed for development shall be seventy-five thousand (75,000) square feet.
(c)
Massing requirements. The requirement for the subdivision of masses/volumes in a building shall apply according to the standards established in Table 8.2.
Table 8.2: Massing Standards
(d)
Massing subdivision elements. When massing subdivision is required per Table 8.2, the requirement shall be satisfied by choosing the required number of mass subdivision elements from the following:
i.
Setbacks. Setbacks may occur above the ground or at the second floor level. If a building is two (2) floors in height, the floor area of the second floor building mass shall be no more than ninety-five (95) percent of the floor area at the first floor. If a building is three (3) floors or more in height, the total combined area of the second and third floors shall be no more than one hundred ninety (190) percent of the floor area of the first floor.
Figure 8.40 — Massing Setbacks, Office/Commercial
ii.
Offsets. Offsets shall be a minimum of ten (10) feet to break up the foundation line to define each mass. The portion projected or recessed shall extend up to the roof eaves.
Figure 8.41 — Massing Offsets, Office/Commercial
iii.
Roof Form Variations. Distinctive volumes shall be defined by roof forms through the use of the following options:
a.
Distinctive roof forms covering each building mass.
b.
Same roof form with a different orientation of the ridge elements; or
c.
Same roof form with same orientation, but the roof has a minimum change in elevation of two point five (2.5) feet between each subdivision.
Figure 8.42 — Massing Roof Form, Office/Commercial
iv.
Façade Length and Variations. Variations in the façade shall be as follows:
a.
Façades greater than sixty (60) feet, but less than one hundred and twenty (120) feet in length must exhibit a prominent shift in the façade of the structure so that no greater than seventy-five (75) percent of the length of the building façade appears unbroken. Each shift shall be in the form of either a ten (10) foot change in building façade alignment or a ten (10) foot change in roof line height, or a combined change in façade and roof line totaling ten (10) feet.
b.
Façades that exceed one hundred and twenty (120) feet in length shall provide a prominent shift in the mass of the structure at each one hundred and twenty (120) foot interval, or less if the developer desires, reflecting a change in function or scale. The shift shall be in the form of either a fifteen (15) foot change in building façade alignment or a fifteen (15) foot change in roof line. A combination of both a roof line and façade change is encouraged and to that end, if the combined change occurs at the same location in the building plan, a fifteen (15) foot total change will be considered as full compliance.
c.
The façade length and variation requirement apply to primary and secondary façades.
Figure 8.43 — Massing Façade Variations Office/Commercial
v.
Additional façade wall articulation elements: façades that exceed one hundred and twenty (120) feet in length shall provide additional wall articulations as follows:
a.
Primary Façades: One (1) additional wall articulation;
b.
Secondary Façades: One (1) additional wall articulation;
c.
Rear Façades: One (1) additional wall articulation.
(e)
Application of massing. Elements utilized to count to satisfy massing requirements shall not be credited as satisfying other design requirements.
(2)
Articulation and Design.
(a)
Intent. The intent of this section is to reduce the apparent size of buildings and create visual interest. Building façades and roofs shall include architectural elements that vary to alleviate the appearance of a large building mass, break up long walls, express the individuality of each building, and enhance the character of the neighborhood/development.
(b)
Architectural elements. Architectural elements and variation shall not be restricted to a single façade. All sides of a building shall display a balanced level of quality and architectural interest, in accordance with sound and generally accepted development and architectural practices and principles.
(c)
Front entrance articulation. Front entrances shall be clearly defined with the use of architectural features including, but not limited to, porticos, recessed/projected access, stairs, columns, canopies, different materials or treatments.
(d)
Minimum number of articulation elements. The following minimum articulation elements are required:
i.
Primary façade: Three (3) elements;
ii.
Secondary façade: Two (2) elements;
iii.
Rear façade: One (1) element;
iv.
Rear façade visible from a right-of-way, but not fronting a right-of-way: two (2) elements
v.
If the building is placed in a corner of two (2) rights-of-way, an additional corner element is required.
(e)
Articulation elements.
i.
Arched, gabled, stepped or decorative parapet with cornice over building entrances, integrated with the building's massing and style.
ii.
Canopies, balconies, patios, porches or porticos, bay windows, steps, ornamental guardrails, pergolas, columns, all of which shall be integrated with the building's massing and style in quantity and proportion.
iii.
Vertical or horizontal modulation.
iv.
Additional peaked roof forms used as wall articulation.
v.
Overhangs or other roof treatments that provide shade and break the vertical plane, a minimum of three (3) feet deep that cover at least fifty (50) percent of the horizontal length of the façade.
vi.
Arches, arched forms, gallery or arcade that cover at least fifty (50) percent of the horizontal length of the façade.
vii.
Ornamental and structural articulations that are integrated into the building structure, consistent with the building's mass and scale. Vertical architectural treatments shall have a minimum width of twenty (20) inches and a projection or recession of a minimum of twelve (12) inches in depth.
viii.
If a rear façade is visible from a right-of-way but does not front a right-of-way, requiring two (2) articulation elements, enhanced perimeter landscape is permissible as one (1) of the two (2) required articulation elements. The landscaped area shall be a minimum five (5) feet wide and shall include groundcover and shrubs/vegetation that provide dense screening with a mature height of six (6) feet at a minimum, and one (1) understory tree or clusters of three (3) palm trees for each twenty-five (25) feet, or fraction thereof, of the linear building façade.
ix.
Corner articulation elements including any of the above (except item viii.) or a vertical wall signage, an associated plaza or common area, public art.
x.
Any other treatment that, the approving authority determines to clearly and convincingly be consistent with the intent of this section and is consistent with sound and generally accepted land use planning practices and principles.
(f)
Articulation elements of accessory structures. Separate accessory structures on the site shall have similar and compatible architectural detail, design elements and roof design as the principal structure, consistent with sound and generally accepted architectural practices and principles.
(g)
Application of articulation. Elements utilized to count to satisfy wall articulation requirements shall not be credited as satisfying other design requirements.
Figure 8.44 — Building Articulation Office/Commercial
(3)
Roof Modulation.
(a)
Intent. The intent of this section is to ensure that visual interest also applies to roof treatment. Roof forms may be used to identify different functional areas within the building, to provide for additional light to enter the building, to reduce massing, to screen rooftop equipment, and to create movement along the roof line.
(b)
Roof design compatibility. Roofing forms, slopes, details, materials and overall design shall be compatible with the overall style, mass, scale and character of the buildings.
(c)
Gutters and downspouts. All roofs shall include gutters/downspouts that that comply with all of the following:
i.
Drain directly into a cistern, landscaped area or storm drain system.
ii.
Match the trim or body color of the façade.
iii.
Are discreetly located to maximize aesthetics, unless decorative in nature.
(d)
Vent pipes. Vent pipes that are visible from the streets by pedestrians shall be painted to match the color of the roof to make them less visible.
(e)
Number of roof modulation elements.
i.
Primary façade roofline: Two (2) elements.
ii.
Secondary façade roofline: One (1) element.
(f)
Roof modulation elements.
i.
Uninterrupted roofline along the eave between roof modulation elements shall be no more than forty (40) feet.
ii.
Decorative parapets that are a minimum of three (3) feet in height above the finished roof.
iii.
Multiple peaks and/or roof planes.
iv.
A sloping roof with an average pitch of 3:12 or greater.
v.
Extension of window or façade elements up into the roof area.
vi.
Distinctive roof forms covering each building mass.
vii.
Same roof form with a different orientation of the ridge elements.
viii.
Same roof form with same orientation, but the roof has a minimum change in elevation of two point five (2.5) feet between each subdivision of the building.
ix.
Any other treatment that the approving authority determines to be consistent with the intent of this Subsection and is consistent with sound and generally accepted land use planning or architectural practices and principles.
Figure 8.45 — Roof Modulation, Office/Commercial
(4)
Fenestration.
(a)
Intent. The intent of this section is to ensure identity and visual interest in office and commercial building design and ensure proper natural light and ventilation to the development building.
(b)
Design standards. Doors, windows, and other openings in a building exterior façade shall comply with all of the following:
i.
Fenestration elements (doors, windows and openings) shall be appropriately sized for the scale and style of the building on which they are located.
ii.
Windows, doors and/or openings shall occupy a minimum of thirty (30) percent of the area of the ground-level primary façade or façades that front a street, park, plaza or on-site courtyard, and twenty (20) percent of the ground level of the secondary façades.
iii.
Windows, doors and/or openings shall occupy a minimum of twenty (20) percent of the area of the upper-level primary and secondary façades or façades that front a street, park, plaza or on-site courtyard.
iv.
Windows shall provide both visibility and day-lighting into the building.
v.
Windows shall be vertical in shape (height is at least twenty (20) percent greater than width). Buildings using large amounts of glass shall divide the glass into smaller panels achieving proportions emphasizing verticality.
Figure 8.46 — Fenestration percentage calculation, Office/Commercial
Figure 8.47 — Fenestration, Office/Commercial
(5)
Materials.
(a)
Intent. The intent of this section is to use façade materials to provide character and attractiveness to the office and commercial building(s). Materials shall be varied and contrasting either to differentiate buildings or parts of buildings.
(b)
Material consistency. Material treatment shall be consistent in all façades and shall be complementary to one another and appropriate for the architectural style.
(c)
Number of façade materials. The minimum number of building materials used on a primary façade and secondary façade shall be two (2), excluding fenestration, trims and decorative elements.
(d)
Change in materials. Changes in material shall generally occur when there is a change in the plane of the façade. The change in material shall occur on inside corners of the building
(e)
Wrapping materials around building corners. Brick and stone materials shall wrap around corners to give an appearance of structural function and minimize a veneer appearance.
(f)
Brick and stone veneer. If used, brick and stone veneer shall be mortared to give the appearance that they have a structural function.
(g)
Minimum and maximum percentages of specific façade materials.
i.
The minimum percentage of stone and/or brick in a primary façade shall be twenty (20) percent and the minimum percentage of stone and/or brick in a secondary façade shall be ten (10) percent.
ii.
The maximum percentage for stucco in a primary façade shall be forty (40) percent and the maximum percentage for wood panel (including painted or stained lap horizontal siding, vertical board, batten wood siding) shall be forty (40) percent.
iii.
The maximum percentage for stucco in a secondary façade shall be fifty (50) percent and the maximum percentage for wood panel (including painted or stained lap horizontal siding, vertical board, batten wood siding) shall be fifty (50) percent.
(h)
Percentage calculation. The percentage calculation shall be based on exterior walls, excluding fenestration, trims and decorative elements.
Figure 8.48 — Materials Percentage Calculation
Figure 8.48 — Materials Percentage Calculation
(i)
Permissible façade materials. High-quality façade materials, including but not limited to: brick, stone, wood panel (including painted or stained lap horizontal siding, vertical board, batten-wood siding) and stucco.
(j)
Prohibited façade materials. Prohibited façade materials include: untreated concrete block, plywood, unfinished lumber aluminum, textured T1-11, corrugated fiberglass, sheet metal or tin siding and any other materials determined by the City to be of similar nature or effect.
Figure 8.49 — Materials Office/Commercial
(6)
Colors.
(a)
Intent. The intent of this section is to ensure that colors are harmonious and add to the visual character of the building.
(b)
Prohibited colors and finishes. The following are prohibited on the exterior of any building, which are found by the City to be one or more of the following:
i.
Colors that are garish, gaudy, loud, excessive, or ostentatious;
ii.
Colors that constitute a glaring and unattractive contrast to the surrounding buildings or area;
iii.
Colors that fluoresce under ultra-violet (UV) or black light;
iv.
Colors and finishes that are pearlescent or excessively reflective in nature.
(c)
Maximum number of colors. A maximum of three (3) colors may be used on the exterior walls of any building, plus two (2) additional colors for trim/cornice work.
(d)
Natural materials. Unpainted materials such as brick and stone do not count as colors.
(7)
Height.
(a)
Building height. The maximum height for office/commercial developments in all zoning districts shall be forty-five (45) feet. Office/commercial developments located along development corridors, as defined by the Comprehensive Plan, shall have a maximum height of sixty (60) feet, except those located within the Downtown Mixed-Use District—Village Core (MUD-VC), which height shall comply with Article VI, Exhibit C, Maximum Buildable Heights by Zone.
(D)
Accessory Structures.
(1)
Fences and Walls.
(a)
Height.
i.
Fences and walls located in the front yard/setback (excluding retaining and subdivision walls) shall have a maximum height of three (3) feet. Rear and side yard fences and walls shall have a maximum height of six (6) feet and the setback shall be zero (0). Fence and wall posts shall be no more than twelve (12) inches higher than the fence or wall.
ii.
Office and Commercial perimeter walls and fences shall have a maximum height of six (6) feet.
(b)
Material consistency. Fences and walls shall be constructed with materials that are consistent or complementary to the architecture of the development.
(c)
Permissible wall finishing materials. Permissible wall finishing materials include: brick and stone.
(d)
Permissible fence materials. Permissible fence materials include wood, vinyl, anodized or powder-coated aluminum and wrought iron. Materials such as barbed wire, razor wire and chain link are prohibited.
(2)
Service Areas.
(a)
Intent. The intent of this section is to ensure that service areas, loading areas, refuse/recycling collection containers (garbage dumpsters) shall be enclosed and shall be located in areas that are not visible from public streets by pedestrians.
(b)
Screening requirements for refuse/recycling collection containers (garbage dumpsters).
i.
Refuse/recycling collection containers (garbage dumpsters) shall be structurally screened.
ii.
Screening shall be a minimum one (1) foot greater in height than the element being screened.
iii.
Structural screening shall be consistent with the architectural elements, materials, and colors of the principal structure.
iv.
Whenever practicable, these areas and equipment shall be integrated into the main structure.
Figure 8.50 — Service Areas & Mechanical Equipment, Office/Commercial
(3)
Mechanical Equipment.
(a)
Intent. The intent of this section is to ensure that mechanical equipment is located in areas that are not visible from public streets by pedestrians.
(b)
Location. Mechanical equipment shall be placed on the roof, on the side, or in the rear of each building.
(c)
Roof-top mechanical equipment screening requirements.
i.
Roof-top mechanical equipment shall be completely screened from all ground level views by a parapet wall or other architectural feature, which feature shall be architecturally integrated to the building.
ii.
The parapet screen height shall be at least one (1) foot higher than the mechanical equipment being screened. In exceptional cases, if the applicant cannot meet this requirement, the applicant may propose a different screening height if demonstrated by the line of sight that the equipment is not visible from the pedestrian view, in which case it shall not be considered a deviation.
iii.
Structural screening shall be consistent with the architectural elements, materials and colors of the principal structure. Whenever practicable, these areas and equipment shall be integrated into the main structure.
(d)
Ground-mounted equipment screening requirements.
i.
Ground-mounted equipment shall not be visible from public rights-of-way, by pedestrians or adjacent residential properties.
ii.
Screening shall be provided at a minimum one (1) foot greater in height than the area/equipment being screened.
iii.
Structural screening shall be consistent with the architectural elements, materials, and colors of the principal structure. Whenever practicable, these areas and equipment shall be integrated into the main structure.
(4)
Solar Panels.
(a)
Intent. The intent of this section is to allow green building practices by permitting solar panels in office and commercial development while keeping the aesthetic character of the building and the development.
(b)
Location requirements.
i.
Solar panels that are not integrated in the architecture of the façade or roof shall be hidden from sight and shall be treated as mechanical equipment.
ii.
Solar panels and photovoltaic elements that are integrated into the building architecture shall comply with the architecture articulation and/or roof elements.
(5)
Other Detached Accessory Structures (pergolas, cabanas, gazebos, etc.).
(a)
Location. Detached accessory structures shall be located to the rear of the principal structure on office and commercial developments, unless they have a decorative purpose such as trellis, pergolas, cabanas and etc., which can be placed on the side of the principal structure.
(b)
Design standards. Detached accessory structures shall be consistent with the architectural elements, materials, and colors of the principal structure.
(Ord. No. 1647 , § 4, 2-20-17)
(A)
Site Design
(1)
Streets/Alleys/Walkways/Access.
(a)
Intent. The intent of this section is to ensure that development provides internal and external circulation connectivity and safety as may be required to protect the public interest and to minimize visual and physical impacts of standalone or accessory parking structures, on the pedestrian experience and on the streetscape.
(b)
Sidewalks on both sides of a street. Private and public streets within the development shall provide sidewalks on both sides of the public or private street.
(c)
Street connectivity. New streets, as defined by F.S. § 334.03, (public and private) shall feature an integrated pedestrian circulation network within the development and shall be extended and integrated into the existing public street system.
(d)
Access points.
i.
Parking garages shall be accessed from a local street or alley.
ii.
The number of access points shall be determined during the review.
iii.
Access points shall be well signalized to minimize impacts of parking garage entrances on major pedestrian activity zones.
iv.
Parking garages are encouraged not be constructed immediately adjacent to designated arterial and collector roadways, unless that there is enough space to provide for the required stacking.
Figure 8.51 — Access Points, Parking Garages
(e)
Minimum widths of streets and rights-of-way.
i.
Internal streets (public and private) shall have a minimum width of fifty (50) feet, unless otherwise approved by the City Engineer, based upon sound and generally accepted engineering practices and principles
ii.
Mechanical garages shall be prohibited.
(f)
Minimum widths of alleys. Internal alleys shall have a minimum width of sixteen (16) feet of pavement and a total width of twenty (20) feet.
(g)
Minimum widths of sidewalks. Sidewalks shall have a minimum width of five (5) feet clear of vehicle overhangs.
(2)
Open Space.
(a)
Intent. The intent of this section is to provide a well-planned balance between developed areas and undeveloped areas in the City and ensure that the publicly accessible open space serves as focal point and an organizing feature of the site.
(b)
Minimum open space area. A minimum of twenty-five (25) percent of the total site development shall be dedicated to be open space, except when located within the Downtown District, which shall comply with standards established in Article VI.
(c)
Design of open spaces. Open space are encouraged to be designed to use topographic, natural and or historic site features, as may be available on the property.
(3)
Landscape.
(a)
Intent. The intent of this section is to preserve and protect existing healthy trees and ensure that new development provides shade and greenery to residents.
(b)
Street trees. A minimum of one (1) large street tree shall be provided for every fifty (50) linear feet of right-of-way, adjacent to a development parcel. Alternatively, a minimum of one (1) medium street tree may be allowed for every thirty (30) linear feet of right-of-way, adjacent to a development parcel, if applicant demonstrates that it is impractical to plant the large street trees.
(c)
Lot trees. The minimum number of required trees for parking garage development is calculated at a rate of fifteen (15) trees per net buildable.
(4)
Lighting.
(a)
Intent. The intent of this section is to ensure safety and convenience for the circulation of people and motor vehicles.
(b)
Areas to be lighted. Areas such as sidewalks, plazas, entrances, garbage disposal areas, and alleys shall be illuminated at night to ensure public safety. Lighting shall be provided at regular intervals to prevent dark pockets.
(c)
Design standards.
i.
Internal development lighting for pedestrian areas shall have a maximum pole height of sixteen (16) feet. Development lighting for non-pedestrian areas shall have a maximum pole height of thirty-five (35) feet.
ii.
Lighting fixtures shall be consistent throughout the development and shall complement the architecture of the building as to its style.
iii.
All lighting fixtures in public rights-of-way shall use LED lighting.
iv.
Lighting fixtures shall use concealed source fixtures.
v.
Light poles shall have fluted bases.
vi.
Lighting in exclusively pedestrian areas may use illuminated bollards instead of light poles.
vii.
Lighting within the structure shall not spillover the adjacent pedestrian realm and adjacent properties.
viii.
If the applicant proposes an innovative lighting design that does not comply with non-quantifiable standards, a justification shall be provided and shall be considered by the City Council for approval.
Figure 8.52 — Lighting Parking Garages
(5)
Signage.
(a)
Sign designs. Entrance signs (free standing signs or wall signs) shall be complementary to the architecture of the development.
(B)
Building Siting
(1)
Building Orientation.
(a)
Intent. The intent of this section is to orient the parking garage development to cause the least impact on pedestrian activity and to have parking garage buildings creating a sense of spatial enclosure along streets with buildings forming a "street wall" and defining "outdoor rooms".
(b)
Front entrances.
i.
No more than two parking garage entrances/exits may be located on a single block frontage.
ii.
Pedestrian entrances/exits to parking garages shall be directly from the street, unless the structure is part of a development that provides access directly to and from other building uses.
(c)
Façade classification.
i.
A façade that has a primary entrance door is a primary façade.
ii.
A façade that faces a public or private street is a primary façade.
(d)
Location of accessory structured parking garages. If structured parking garages are accessory to an existing development they shall be located behind the principal buildings or on the same building, below or above the principal uses.
Figure 8.53 — Building Orientation, Parking Garages
(2)
Lot Size, Width and Setbacks.
(a)
Intent. The intent of this section is to organize the location of parking garages in relation to the street, to the lot and to other adjacent buildings in order to provide enough space for air circulation, insulation, vegetation, storm water filtration and privacy between building units.
(b)
Lot dimensions. There is no minimum lot width or minimum lot size for parking garages.
(c)
Setbacks. The minimum setbacks are the setbacks established in Section 4.12, Table 4.2, Table of Lot Use Regulations; Section 6.3, Table 6.2, Building Setbacks; Section 6.4(F)(4)(b), Setbacks; and Section 6.4(G)(4)(c), Setbacks, according to the specific zoning district.
(3)
Parking Requirements.
(a)
Charging stations for electric cars. A minimum of one (1) electric vehicle charging station per development requiring more than fifty (50) parking spaces. The charging station shall serve two (2) parking spaces.
(C)
Building Form
(1)
Articulation and Design.
(a)
Intent. The intent of this section is to reduce the apparent size of buildings and create visual interest. Building façades and roofs shall include architectural elements that vary to alleviate the appearance of a large building mass, break up long walls, express the individuality of each building, and enhance the character of the neighborhood/development.
(b)
Architectural elements.
i.
Architectural elements and variation shall not be restricted to a single façade. All sides of a building shall display a balanced level of quality and architectural interest, in accordance with sound and generally accepted development and architectural practices and principles.
ii.
Parking structures that are accessory buildings shall be designed to complement and be compatible with the architectural character, materials, and colors of the overall development.
iii.
Parking structure façades shall not allow ramps to be visible from adjacent public rights-of-way, private streets, and publicly accessible open space and plazas.
iv.
Parking garages that have façades that are hidden/enclosed by surrounding buildings may be exempted from the requirements of Section 8.8(C) if demonstrated that such façades are not visible from adjacent public rights-of-way, private streets, and publicly accessible open space and plazas.
(c)
Front entrance articulation.
i.
Front entrances shall be clearly defined with the use of architectural features including, but not limited to, porticos, recessed/projected access, stairs, columns, canopies, different materials or treatments.
ii.
One (1) pedestrian entrance per building unit shall be provided on the primary façade.
(d)
Minimum number of articulation elements. The following minimum articulation elements are required:
i.
Primary façade: Three (3) elements.
ii.
Secondary façade: Two (2) elements.
iii.
Rear façade: One (1) element.
iv.
Rear façade visible from a right-of-way, but not fronting a right-of-way: two (2) elements.
v.
If the building is placed in a corner of two (2) rights-of-way, an additional corner element is required.
(e)
Articulation elements.
i.
Arched, gabled, stepped or decorative parapet with cornice over building entrances, integrated with the building's massing and style.
ii.
Canopies, balconies, patios, porches or porticos, bay windows, steps, ornamental guardrails, pergolas, columns, all of which shall be integrated with the building's massing and style in quantity and proportion.
iii.
Vertical or horizontal modulation.
iv.
Additional peaked roof forms used as wall articulation.
v.
Overhangs or other roof treatments that provide shade and break the vertical plane, a minimum of three (3) feet deep that cover at least fifty (50) percent of the horizontal length of the façade.
vi.
Arches, arched forms, gallery or arcade that cover at least fifty (50) percent of the horizontal length of the façade.
vii.
Ornamental and structural articulations that are integrated into the building structure, consistent with the building's mass and scale. Vertical architectural treatments shall have a minimum width of twenty (20) inches and a projection or recession of a minimum of twelve (12) inches in depth.
viii.
If a rear façade is visible from a right-of-way but does not front a right-of-way, requiring two (2) articulation elements, enhanced perimeter landscape is permissible as one (1) of the two (2) required articulation elements. The landscaped area shall be a minimum five (5) feet wide and shall include groundcover and shrubs/vegetation that provide dense screening with a mature height of six (6) feet at a minimum, and one (1) understory tree or clusters of three (3) palm trees for each twenty-five (25) feet, or fraction thereof, of the linear building façade.
ix.
Corner articulation elements including any of the above (except item viii.) or a vertical wall signage, an enhanced stair case, an associated plaza or common area, public art.
x.
Any other treatment that, the approving authority determines to clearly and convincingly be consistent with the intent of this section and is consistent with sound and generally accepted land use planning practices and principles.
(f)
Application of articulation elements. Elements utilized to count to satisfy wall articulation requirements shall not be credited as satisfying other design requirements.
Figure 8.54 — Building Articulation Parking Garages
(2)
Roof Modulation.
(a)
Intent. The intent of this section is to ensure that visual interest also applies to roof treatment. Roof forms may be used to identify different functional areas within the building, to provide for additional light to enter the building, to reduce massing, to screen rooftop equipment, and to create movement along the roof line.
(b)
Roof design compatibility. Roofing forms, slopes, details, materials, and overall design shall be compatible with the overall style and character of the structure.
(c)
Gutters and downspouts. All roofs shall include gutters/downspouts that:
i.
Drain directly into a cistern, landscaped area or storm drain system.
ii.
Match the trim or body color of the façade.
iii.
Are discreetly located to maximize aesthetics, unless decorative in nature.
(d)
Vent pipes. Vent pipes that are visible from the streets and pedestrian areas shall be painted to match the color of the roof to make them less visible.
(e)
Number of roof modulation elements.
i.
Primary façade roofline: Two (2) elements.
ii.
Secondary façade roofline: One (1) element.
(f)
Roof modulation elements.
i.
Uninterrupted roofline along the eave between roof modulation elements shall be no more than forty (40) feet.
ii.
Decorative parapets that are a minimum of four (4) feet in height above the finished roof floor of the rooftop.
iii.
Extension of window or façade elements up into the roof area.
iv.
Distinctive roof forms covering each building mass.
v.
Landscape planters or elements along the roofline.
vi.
Any other treatment that, the approving authority determines to be consistent with the intent of this Subsection and is consistent with sound and generally accepted land use planning or architectural practices and principles.
Figure 8.55 — Roof Modulation, Parking Garages
(3)
Fenestration.
(a)
Intent. The intent of this section is to ensure identity and visual interest in parking garage building design and ensure proper natural light and ventilation to the garage building.
(b)
Design standards. Doors, windows, and other openings in a building exterior façade shall comply with all of the following:
i.
Fenestration elements (doors, windows and openings) shall be appropriately sized for the scale and style of the building on which they are located.
ii.
Windows, doors and/or openings shall occupy a minimum of thirty (30) percent of the façade area of the primary and secondary façades that front a street, park, plaza or on-site courtyard.
iii.
Windows or openings shall provide both visibility and day-lighting into the building.
iv.
Windows or openings shall be preferably vertical in shape (height is at least twenty (20) percent greater than width. If openings are horizontal in shape, vertical elements in the façade articulation shall be provided.
(4)
Materials.
(a)
Intent. The intent of this section is to use façade materials to provide character and attractiveness to the parking garage building(s). Materials shall be varied and contrasting either to differentiate buildings or parts of buildings.
(b)
Material consistency. Material treatment shall be consistent in all façades and shall be complementary to one another and appropriate for the architectural style.
(c)
Number of façade materials. The minimum number of building materials used on a primary façade and secondary façade shall be two (2), excluding fenestration, trims and decorative elements.
(d)
Change in materials. Changes in material shall generally occur when there is a change in the plane of the façade. The change in material shall occur on inside corners of the building.
(e)
Wrapping materials around building corners. If used, brick and stone materials shall wrap around corners to give an appearance of structural function and minimize a veneer appearance.
(f)
Minimum and maximum percentages of specific materials.
i.
The minimum percentage of stone and/or brick in a primary façade shall be twenty (20) percent and the minimum percentage of stone and/or brick in a secondary façade shall be ten (10) percent. Alternatively, a minimum of forty (40) percent of other textured material shall be required for primary façades and a minimum of twenty (20) percent of other textured material shall be required for secondary façades.
ii.
The maximum percentage for stucco in a primary façade shall be forty (40) percent and the maximum percentage for wood panel (including painted or stained lap horizontal siding, vertical board, batten wood siding) shall be forty (40) percent.
iii.
The maximum percentage for stucco in a secondary façade shall be fifty (50) percent and the maximum percentage for wood panel (including painted or stained lap horizontal siding, vertical board, batten wood siding) shall be fifty (50) percent.
(g)
Percentage calculation. The percentage calculation shall be based on exterior walls, excluding fenestration, trims and decorative elements.
(h)
Permissible façade materials. Permissible façade materials include: brick, stone, wood panel (including painted or stained lap horizontal siding, vertical board, batten-wood siding), stucco, textured stucco and textured concrete panels.
(i)
Prohibited façade materials. Prohibited façade materials include: untreated concrete block, plywood, unfinished lumber aluminum, textured T1-11, corrugated fiberglass, sheet metal or tin siding and any other materials determined by the City to be of similar nature or effect.
(5)
Colors.
(a)
Intent. The intent of this section is to guarantee colors are harmonious and add to the visual character of the building.
(b)
Prohibited colors and finishes. The following are prohibited on the exterior of any building:
i.
Colors that are garish, gaudy, loud, excessive, or ostentatious;
ii.
Colors that constitute a glaring and unattractive contrast to the surrounding buildings or area;
iii.
Colors that fluoresce under ultra-violet (UV) or black light;
iv.
Colors and finishes that are pearlescent or excessively reflective in nature.
(c)
Maximum number of colors. A maximum of three (3) colors may be used on the exterior walls of any building, plus two (2) additional colors for trim/cornice work.
(d)
Interior painting/finishing. Parking garage interior walls and ceilings shall be painted/finished with a material in a light color to enhance light levels.
(e)
Natural materials. Unpainted materials such as brick and stone do not count as colors.
(6)
Height.
(a)
Building height. The maximum building height for parking garages in all zoning districts shall be forty-five (45) feet. Building garages located along development corridors, as defined by the Comprehensive Plan, shall have a maximum height of sixty (60) feet, except those located within the Downtown Mixed-Use District—Village Core (MUD-VC) which height shall comply with Article VI, Exhibit C, Maximum Buildable Heights by Zone.
(D)
Accessory Structures
(1)
Fences and Walls.
(a)
Height.
i.
Fences and walls located in the front yard/setback (excluding retaining and subdivision walls) shall have a maximum height of three (3) feet. Rear and side yard fences and walls shall have a maximum height of six (6) feet and the setback shall be zero (0) Fence and wall posts shall be no more than twelve (12) inches higher than the fence or wall.
ii.
Parking Garage perimeter walls and fences shall have a maximum height of six (6) feet.
(b)
Material consistency. Fences and walls shall be constructed with materials that are consistent or complementary to the architecture of the development.
(c)
Permissible wall finishing materials. Permissible wall finishing materials include: brick and stone.
(d)
Permissible/prohibited fence materials. Permissible fence materials include wood, vinyl, anodized aluminum and wrought iron. Materials such as barbed wire, razor wire and chain link are prohibited.
(2)
Service Areas.
(a)
Intent. The intent of this section is to ensure that service areas, loading areas, refuse/recycling collection containers (garbage dumpsters) are located in areas that are not visible from public streets by pedestrians.
(b)
Design requirements for refuse/recycling collection containers (garbage dumpsters).
i.
Refuse/recycling collection containers (garbage dumpsters) shall be structurally screened.
ii.
Screening shall be a minimum one (1) foot greater in height than the element being screened.
iii.
Structural screening shall be consistent with the architectural elements, materials, and colors of the principal structure.
iv.
The minimum rear and side setback to refuse/recycling collection containers shall be five (5) feet.
(3)
Mechanical Equipment.
(a)
Intent. The intent of this section is to ensure that mechanical equipment is located in areas that are not visible from public streets by pedestrians.
(b)
Location. Mechanical equipment shall be placed on the roof, on the side, or in the rear of each building.
(c)
Roof-top equipment design requirements.
i.
Roof-top mechanical equipment shall be completely screened from all ground level views by a parapet wall or other architectural feature, which feature shall be architecturally integrated to the building.
ii.
The parapet screen height shall be at least one (1) foot higher than the mechanical equipment being screened. In exceptional cases, if the applicant cannot meet this requirement, the applicant may propose a different screening height if demonstrated by the line of sight that the equipment is not visible from the pedestrian view, in which case it shall not be considered a deviation.
iii.
Structural screening shall be consistent with the architectural elements, materials and colors of the principal structure. Whenever practicable, these areas and equipment shall be integrated into the main structure.
(d)
Ground-mounted equipment design requirements.
i.
Ground-mounted equipment shall not be visible from public rights-of-way, by pedestrians or adjacent residential properties.
ii.
Screening shall be provided at a minimum one (1) foot greater in height than the area/equipment being screened.
iii.
Structural screening shall be consistent with the architectural elements, materials, and colors of the principal structure. Whenever practicable, these areas and equipment shall be integrated into the main structure.
iv.
The minimum rear and side setbacks for ground-mounted equipment shall be five (5) feet.
(4)
Solar Panels.
(e)
Intent. The intent of this section is to allow green building practices by permitting solar panels in the parking garage building while keeping the aesthetic character of the building and the development.
(f)
Location requirements.
i.
Solar panels that are not integrated in the architecture of the façade or roof shall be hidden from sight and shall be treated as mechanical equipment.
ii.
Solar panels and photovoltaic elements that are integrated into the building architecture shall comply with the architecture articulation and/or roof elements.
(Ord. No. 1647 , § 4, 2-20-17)
Notwithstanding the provisions of the standards set forth herein, an applicant may submit to the City Council an alternative design plan which, although not meeting all of the technical requirements of these standards, clearly and convincingly results in an innovative building or site design which is consistent with sound and generally accepted land use planning or architectural practices and principles, creates a positive visual experience from the street level, protects the visual ambience of the community, enhances the public amenities resulting from the design, and generally furthers the intent of the standards. Approval of alternative design techniques may be granted by the City Council by means of issuance of a site or architectural development order.
(Ord. No. 1647 , § 4, 2-20-17)