COMMUNITY SERVICE OVERLAY DISTRICT
It is the purpose and intent of this section to promote the health, safety, community-acceptable standards of morals and general welfare of the residents of the City of South Miami through the stated regulations of this section. The Community Services overlay zoning district is intended to provide for the establishment of an overlay zoning district in the Charrette Too Study Area, in order to provide for the special needs of community-based service providers and, specifically, to permit parking lot improvements, outparcel development, day care center facilities and building additions for those properties under the sole ownership of community-based service providers, such as churches, mosques, synagogues, or temples. Dwellings, single-family may be developed by either community service providers or non-community service providers, including private individuals or for-profit entities.
(Ord. No. 1-97-1622, § 1, 2-18-97; Ord. No. 16-21-2406, § 1, 9-7-21)
The requirements of this Article shall be in addition to other requirements in the City's adopted Land Development Code, and in the case of conflict the provisions of this Article shall control.
(Ord. No. 1-97-1622, § 1, 2-18-97)
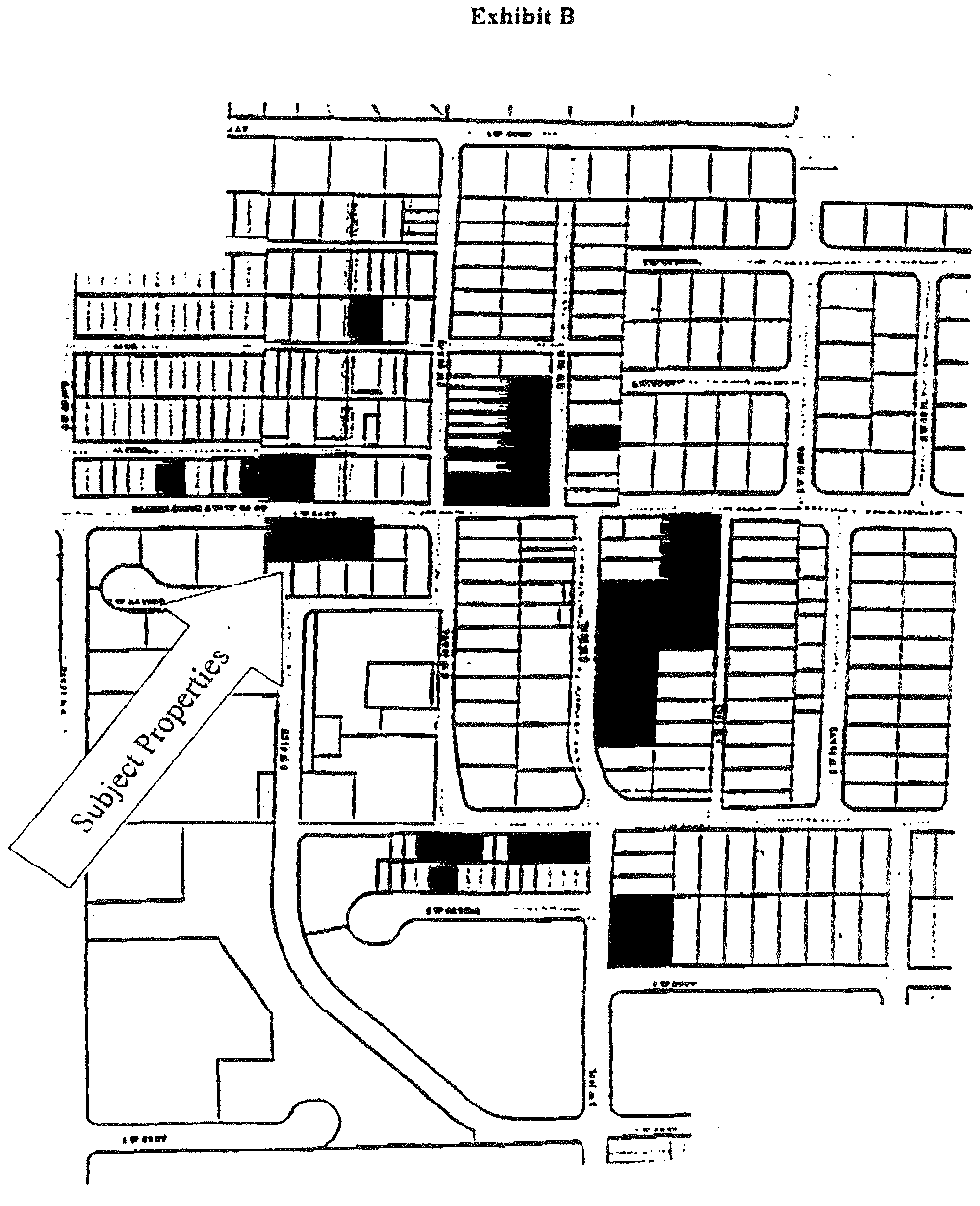
The properties in the Community Service (CS) overlay zoning district shall be delineated on the City's Official Zoning Map with the symbol "CS-OV" and shown as darkened areas in Figure 20-9.1. The properties are legally described as follows:
Lots 7, 8 and 12 of Block 1, PINES SUBDIVISION, according to the plat thereof, as recorded in Plat Book 13 at Page 2 of the Public Records of Miami-Dade County, Florida; and, Lots 31, 32 and 33 of Block 5, Lots 34, 35 and 36 of Block 6, and the alley lying between Lots 34 and 35, Lot 40, less the west 15 feet thereof, Lots 41, 42, 43, 44, 45 and 46 of Block 7, and 4 feet of the alley lying south and adjacent to Lot 46, Lots 70 and 71 of Block 12, and Lot 87 of Block 15 and 7½ feet of the alley lying west and adjacent to Lot 87, less roadway dedications, FRANKLIN SUBDIVISION, according to the plat thereof, as recorded in Plat Book 5 at Page 35 of the Public Records of Miami-Dade County, Florida; and, Lots 1, 2, 3, 4, 5, 6, 7, 8, 9, 10, 11, 12, 13, 25, 26, 27, 28, 29, and 30, Block A, RE-SUBDIVISION OF TOWNSITE OF LARKINS, according to the plat thereof, as recorded in Plat Book 4 at Page 1 of the Public Records of Miami-Dade County, Florida; and, Lots 12, 13 and 14 of Block 2, TOWNSITE OF LARKINS SUBDIVISION, according to the plat thereof, as recorded in Plat Book 2 at Page 105 of the Public Records of Miami-Dade County, Florida; and, the North ½ of Lot 5, Lots 6, 7, 8, 9, 10, 11, 12 and 13 of Block 2, and Lots 4, 5, 6, and 7 of Block 4, less roadway dedications, AMENDED PLAT OF HAMLET, according to the plat thereof, as recorded in Plat Book 4 at Page 48 of the Public Records of Miami-Dade County, Florida; and, East 50 feet of West 200 feet of North 105.50 feet of East ½ of Northwest ¼ of Southeast ¼ Less Streets, Section 25-54-40, Miami-Dade County, Florida; and East 50 feet of West 150 feet of North 105.50 feet of East ½ of Northwest ¼ of Southeast ¼ Less Streets, Section 25-54-40, Miami-Dade County, Florida; and, East 50 feet of West 100 feet of North 105.50 feet of East ½ of Northwest ¼ of Southeast ¼ Less Streets, Section 25-54-40, Miami-Dade County, Florida; and West 50 feet of North 105.50 feet of East ½ or Northwest ¼ of Southeast ¼ Less Streets, Section 25-54-40, Miami-Dade County, Florida.
(Ord. No. 1-97-1622, § 1, 2-18-97; Ord. No. 3-99-1677, § 1, 1-19-99; Ord. No. 24-99-1698, § 1, 11-16-99; Ord. No. 4-01-1735, § 1, 2-6-01; Ord. No. 14-06-1882, § 1, 6-13-06; Ord. No. 17-11-2090, § 1, 4-19-11)
(Ord. No. 3-99-1677, § 2, 1-19-99)
The definitions below, as may be amended from time to time, shall apply to Article IX only. Other than the revised definitions included in this subsection, the definitions provided under Section 20-2.3 of the Land Development Code are applicable to the provisions of Article IX.
Accessory building shall mean a detached subordinate building or portion thereof, the use of which is incidental to and in connection with a principal or main building which is under the same ownership as the main building. No accessory building shall be permitted which is not owned in conjunction with a principal or main building.
Accessory use shall mean a building or structure, the use of which is subordinate and incidental to the main building or structure, and is under the same ownership as the main building or structure.
Church, mosque, synagogue or temple shall mean a formerly organized religious entity with ownership of property or properties, a building or other structures, or a group of buildings or structures, which, by design and construction, are intended for organized worship services and commonly related services, such as educational, recreational, and social services, including day care and other community services, which principal facilities and main worship sanctuary structure are located in the Community Services (CS) overlay zoning district.
Community service providers shall mean the existing institutions whose main buildings or structures are located within the Community Service (CS) overlay zoning district as of the adoption date of this subsection, such as churches, mosques, synagogues or temples.
Day care center shall mean any establishment providing for the daytime care of seven (7) or more children and licensed by the Department of Children and Families.
Group Home (See Community residential home.).
School shall mean institutions of general education offering kindergarten through 12th grade education or any portion thereof, including special programs and facilities.
(Ord. No. 1-97-1622, § 1, 2-18-97; Ord. No. 17-11-2090, § 1, 4-19-11; Ord. No. 09-22-2430, § 7, 4-19-22)
(A)
Applicants shall meet in pre-application conference with the Planning and Zoning Division staff to discuss and analyze proposed applications in non-binding forum. Staff may prescribe special conditions in order to assure the overall compatibility of the proposes uses and physical structures with the neighboring uses and physical structures.
(B)
Applicants shall submit an application for development responding to the pre-application conference findings in the form prescribed under the provisions of Section 20-5, entitled Article V. Procedures and Applications, as contained in the Land Development Code.
(C)
Upon receipt of applications for development, the Planning and Zoning staff shall review the application and assure that proposed uses and physical structures are compliant with the purpose, intent and requirements of this article and applicable Code requirements.
(D)
Upon the staff's determination of compliance with the purpose, intent and requirements of this article and applicable Code requirements by the Planning and Zoning Division, the application shall be reviewed by the DRB, as regulated by Section 20-5.11.
(Ord. No. 1-97-1622, § 1, 2-18-97; Ord. No. 13-24-2498, § 3(Exh. B), 5-7-24)
(A)
The uses listed below are permitted by right within the district and are applicable to both new and existing buildings, including accessory structures and accessory uses.
*under the ownership, management and control of a defined community service provider.
(B)
The uses listed below are permitted via special use approval. Applicants shall follow the procedures established for special uses, as set forth in subsections 20-5.8(B) through (F), and shall follow those procedures for the required public hearings, as set forth in general in Section 20-5.1 through Section 20-5.6.
*under the ownership, management and control of a defined community service provider.
(Ord. No. 1-97-1622, § 1, 2-18-97; Ord. No. 16-21-2406, § 1, 9-7-21; Ord. No. 09-22-2430, § 8, 4-19-22)
The dimensional requirements listed below apply to all uses listed in Section 20-9.6, with the exception of single-family dwellings. Single-family dwellings shall follow the dimensional requirements for the RS-4 zoning district provided in Section 20-3.5.
Minimum lot size (for subdivision only):
Net lot area (square feet) .....6,000
Frontage (linear feet) .....60
Required build-to lines (for principal structures):
Front street (address side) .....Property line
Side street (not including alleyways) .....Property line
Canopies, awnings and arcades may project over existing sidewalk areas
Minimum yard setbacks (for new construction):
Front street (address side) .....0.0 feet
Side street (not including alleyways) .....0.0 feet
Side street (for alleyways only) .....5.0 feet
Side (Interior) .....7.5 feet
Rear (Interior) .....10.0 feet
Rear street .....0.0 feet
Any side adjacent to a single-family residence .....25.0 feet
Maximum building height:
Stories .....2
Feet .....25.0 feet
Maximum building coverage (%) .....75
Maximum impervious coverage (%) .....85
(Ord. No. 1-97-1622, § 1, 2-18-97; Ord. No. 16-21-2406, § 1, 9-7-21)
Buildings erected, converted, enlarged, reconstructed, moved or structurally altered shall conform to the off-street parking requirements in Section 20-4.4.
(Ord. No. 1-97-1622, § 1, 2-18-97)
The provisions of Section 20-3.6 shall apply; and all properties in the Community Service overlay zoning district shall be evaluated under the provisions of Section 20-3.6 as though the properties were exclusively used for single-family residential purposes. The purpose of this is to provide for visual uniformity with the surrounding single-family residential neighborhood.
(Ord. No. 1-97-1622, § 1, 2-18-97)
A Unity of Title, as set forth in Section 20-5.16, is required for all platted lots in any development project within the Community Service Overlay District if any of the following conditions exist.
(1)
If a development project is to be built on two (2) or more abutting platted lots;
(2)
If the permitted density of a development project is based upon the averaging of two (2) or more platted lots either abutting or located on the opposite sides of a public right-of-way or alley;
(3)
If the required parking for a development project is located on a lot other than on the site which is generating the required parking.
(Ord. No. 23-99-1697, § 6, 11-16-99)
COMMUNITY SERVICE OVERLAY DISTRICT
It is the purpose and intent of this section to promote the health, safety, community-acceptable standards of morals and general welfare of the residents of the City of South Miami through the stated regulations of this section. The Community Services overlay zoning district is intended to provide for the establishment of an overlay zoning district in the Charrette Too Study Area, in order to provide for the special needs of community-based service providers and, specifically, to permit parking lot improvements, outparcel development, day care center facilities and building additions for those properties under the sole ownership of community-based service providers, such as churches, mosques, synagogues, or temples. Dwellings, single-family may be developed by either community service providers or non-community service providers, including private individuals or for-profit entities.
(Ord. No. 1-97-1622, § 1, 2-18-97; Ord. No. 16-21-2406, § 1, 9-7-21)
The requirements of this Article shall be in addition to other requirements in the City's adopted Land Development Code, and in the case of conflict the provisions of this Article shall control.
(Ord. No. 1-97-1622, § 1, 2-18-97)
The properties in the Community Service (CS) overlay zoning district shall be delineated on the City's Official Zoning Map with the symbol "CS-OV" and shown as darkened areas in Figure 20-9.1. The properties are legally described as follows:
Lots 7, 8 and 12 of Block 1, PINES SUBDIVISION, according to the plat thereof, as recorded in Plat Book 13 at Page 2 of the Public Records of Miami-Dade County, Florida; and, Lots 31, 32 and 33 of Block 5, Lots 34, 35 and 36 of Block 6, and the alley lying between Lots 34 and 35, Lot 40, less the west 15 feet thereof, Lots 41, 42, 43, 44, 45 and 46 of Block 7, and 4 feet of the alley lying south and adjacent to Lot 46, Lots 70 and 71 of Block 12, and Lot 87 of Block 15 and 7½ feet of the alley lying west and adjacent to Lot 87, less roadway dedications, FRANKLIN SUBDIVISION, according to the plat thereof, as recorded in Plat Book 5 at Page 35 of the Public Records of Miami-Dade County, Florida; and, Lots 1, 2, 3, 4, 5, 6, 7, 8, 9, 10, 11, 12, 13, 25, 26, 27, 28, 29, and 30, Block A, RE-SUBDIVISION OF TOWNSITE OF LARKINS, according to the plat thereof, as recorded in Plat Book 4 at Page 1 of the Public Records of Miami-Dade County, Florida; and, Lots 12, 13 and 14 of Block 2, TOWNSITE OF LARKINS SUBDIVISION, according to the plat thereof, as recorded in Plat Book 2 at Page 105 of the Public Records of Miami-Dade County, Florida; and, the North ½ of Lot 5, Lots 6, 7, 8, 9, 10, 11, 12 and 13 of Block 2, and Lots 4, 5, 6, and 7 of Block 4, less roadway dedications, AMENDED PLAT OF HAMLET, according to the plat thereof, as recorded in Plat Book 4 at Page 48 of the Public Records of Miami-Dade County, Florida; and, East 50 feet of West 200 feet of North 105.50 feet of East ½ of Northwest ¼ of Southeast ¼ Less Streets, Section 25-54-40, Miami-Dade County, Florida; and East 50 feet of West 150 feet of North 105.50 feet of East ½ of Northwest ¼ of Southeast ¼ Less Streets, Section 25-54-40, Miami-Dade County, Florida; and, East 50 feet of West 100 feet of North 105.50 feet of East ½ of Northwest ¼ of Southeast ¼ Less Streets, Section 25-54-40, Miami-Dade County, Florida; and West 50 feet of North 105.50 feet of East ½ or Northwest ¼ of Southeast ¼ Less Streets, Section 25-54-40, Miami-Dade County, Florida.
(Ord. No. 1-97-1622, § 1, 2-18-97; Ord. No. 3-99-1677, § 1, 1-19-99; Ord. No. 24-99-1698, § 1, 11-16-99; Ord. No. 4-01-1735, § 1, 2-6-01; Ord. No. 14-06-1882, § 1, 6-13-06; Ord. No. 17-11-2090, § 1, 4-19-11)
(Ord. No. 3-99-1677, § 2, 1-19-99)
The definitions below, as may be amended from time to time, shall apply to Article IX only. Other than the revised definitions included in this subsection, the definitions provided under Section 20-2.3 of the Land Development Code are applicable to the provisions of Article IX.
Accessory building shall mean a detached subordinate building or portion thereof, the use of which is incidental to and in connection with a principal or main building which is under the same ownership as the main building. No accessory building shall be permitted which is not owned in conjunction with a principal or main building.
Accessory use shall mean a building or structure, the use of which is subordinate and incidental to the main building or structure, and is under the same ownership as the main building or structure.
Church, mosque, synagogue or temple shall mean a formerly organized religious entity with ownership of property or properties, a building or other structures, or a group of buildings or structures, which, by design and construction, are intended for organized worship services and commonly related services, such as educational, recreational, and social services, including day care and other community services, which principal facilities and main worship sanctuary structure are located in the Community Services (CS) overlay zoning district.
Community service providers shall mean the existing institutions whose main buildings or structures are located within the Community Service (CS) overlay zoning district as of the adoption date of this subsection, such as churches, mosques, synagogues or temples.
Day care center shall mean any establishment providing for the daytime care of seven (7) or more children and licensed by the Department of Children and Families.
Group Home (See Community residential home.).
School shall mean institutions of general education offering kindergarten through 12th grade education or any portion thereof, including special programs and facilities.
(Ord. No. 1-97-1622, § 1, 2-18-97; Ord. No. 17-11-2090, § 1, 4-19-11; Ord. No. 09-22-2430, § 7, 4-19-22)
(A)
Applicants shall meet in pre-application conference with the Planning and Zoning Division staff to discuss and analyze proposed applications in non-binding forum. Staff may prescribe special conditions in order to assure the overall compatibility of the proposes uses and physical structures with the neighboring uses and physical structures.
(B)
Applicants shall submit an application for development responding to the pre-application conference findings in the form prescribed under the provisions of Section 20-5, entitled Article V. Procedures and Applications, as contained in the Land Development Code.
(C)
Upon receipt of applications for development, the Planning and Zoning staff shall review the application and assure that proposed uses and physical structures are compliant with the purpose, intent and requirements of this article and applicable Code requirements.
(D)
Upon the staff's determination of compliance with the purpose, intent and requirements of this article and applicable Code requirements by the Planning and Zoning Division, the application shall be reviewed by the DRB, as regulated by Section 20-5.11.
(Ord. No. 1-97-1622, § 1, 2-18-97; Ord. No. 13-24-2498, § 3(Exh. B), 5-7-24)
(A)
The uses listed below are permitted by right within the district and are applicable to both new and existing buildings, including accessory structures and accessory uses.
*under the ownership, management and control of a defined community service provider.
(B)
The uses listed below are permitted via special use approval. Applicants shall follow the procedures established for special uses, as set forth in subsections 20-5.8(B) through (F), and shall follow those procedures for the required public hearings, as set forth in general in Section 20-5.1 through Section 20-5.6.
*under the ownership, management and control of a defined community service provider.
(Ord. No. 1-97-1622, § 1, 2-18-97; Ord. No. 16-21-2406, § 1, 9-7-21; Ord. No. 09-22-2430, § 8, 4-19-22)
The dimensional requirements listed below apply to all uses listed in Section 20-9.6, with the exception of single-family dwellings. Single-family dwellings shall follow the dimensional requirements for the RS-4 zoning district provided in Section 20-3.5.
Minimum lot size (for subdivision only):
Net lot area (square feet) .....6,000
Frontage (linear feet) .....60
Required build-to lines (for principal structures):
Front street (address side) .....Property line
Side street (not including alleyways) .....Property line
Canopies, awnings and arcades may project over existing sidewalk areas
Minimum yard setbacks (for new construction):
Front street (address side) .....0.0 feet
Side street (not including alleyways) .....0.0 feet
Side street (for alleyways only) .....5.0 feet
Side (Interior) .....7.5 feet
Rear (Interior) .....10.0 feet
Rear street .....0.0 feet
Any side adjacent to a single-family residence .....25.0 feet
Maximum building height:
Stories .....2
Feet .....25.0 feet
Maximum building coverage (%) .....75
Maximum impervious coverage (%) .....85
(Ord. No. 1-97-1622, § 1, 2-18-97; Ord. No. 16-21-2406, § 1, 9-7-21)
Buildings erected, converted, enlarged, reconstructed, moved or structurally altered shall conform to the off-street parking requirements in Section 20-4.4.
(Ord. No. 1-97-1622, § 1, 2-18-97)
The provisions of Section 20-3.6 shall apply; and all properties in the Community Service overlay zoning district shall be evaluated under the provisions of Section 20-3.6 as though the properties were exclusively used for single-family residential purposes. The purpose of this is to provide for visual uniformity with the surrounding single-family residential neighborhood.
(Ord. No. 1-97-1622, § 1, 2-18-97)
A Unity of Title, as set forth in Section 20-5.16, is required for all platted lots in any development project within the Community Service Overlay District if any of the following conditions exist.
(1)
If a development project is to be built on two (2) or more abutting platted lots;
(2)
If the permitted density of a development project is based upon the averaging of two (2) or more platted lots either abutting or located on the opposite sides of a public right-of-way or alley;
(3)
If the required parking for a development project is located on a lot other than on the site which is generating the required parking.
(Ord. No. 23-99-1697, § 6, 11-16-99)