ZONING DISTRICT MAPS
In accordance with the Zoning Enabling Act of Michigan, Public Act 207 of 1921, as amended by Public Act 306 of 1941, on December 25, 1940, the City of Detroit enacted a zoning ordinance, which included 79 zoning district maps. This article contains Zoning District Maps Nos. 1 through 78, whose boundaries were established on, and remain unaltered since, December 25, 1940. Each map depicts current zoning classifications. The history notes, which follow each map, delineate the ordinances that established and amended each map.
(Code 1984, § 61-17-1; Ord. No. 11-05, § 1(61-17-1), eff. 5-28-2005; Ord. No. 19-05, § 1(61-17-1), eff. 5-28-2005; Ord. No. 34-05, § 1(61-17-1), eff. 12-6-2005; Ord. No. 24-08, § 1(61-17-1), eff. 11-1-2008)
INDEX MAP FOR CITY OF DETROIT ZONING DISTRICTS
(Code 1936; Code 1945; Code 1954; Code 1964; Code 1984; Ord. No. 171-D, § 1, eff. 12-25-1940; Ord. No. 50-E, § 1, eff. 1-4-1946; Ord. No. 55-E, § 1, eff. 2-21-1946; Ord. No. 148-E, § 1, eff. 5-15-1947; Ord. No. 228-E, § 1, eff. 4-1-1948; Ord. No. 559-E, § 1, eff. 6-21-1951; Ord. No. 711-E, § 1, eff. 1-29-1953; Ord. No. 789-E, § 1, eff. 9-10-1953; Ord. No. 112-F, § 1, eff. 4-12-1956; Ord. No. 365-F, § 1, eff. 2-20-1959; Ord. No. 406-F, § 1, eff. 9-4-1959; Ord. No. 477-F, § 1, eff. 5-26-1960; Ord. No. 517-F, § 1, eff. 9-8-1960; Ord. No. 609-F, § 1, eff. 10-19-1961; Ord. No. 641-F, § 1, eff. 1-25-1962; Ord. No. 832-F, § 1, eff. 1-30-1964; Ord. No. 890-F, § 1, eff. 10-1-1964; Ord. No. 220-G, § 1, eff. 1-4-1967; Ord. No. 227-G, § 1, eff. 1-26-1967; Ord. No. 372-G, § 1, eff. 10-30-1968; Ord. No. 394-G, § 1, eff. 1-1-1969; Ord. No. 419-G, § 1, eff. 5-7-1969; Ord. No. 453-G, § 1, eff. 8-10-1969; Ord. No. 673-G, § 1, eff. 4-26-1972; Ord. No. 152-H, § 1, eff. 11-10-1976; Ord. No. 596-H, § 1, eff. 11-22-1984; Ord. No. 24-98, § 1, eff. 8-14-1998; Ord. No. 32-98, § 1, eff. 10-19-1998; Ord. No. 35-98, § 1, eff. 10-19-1998; Ord. No. 28-02, § 1, eff. 12-19-2002; Ord. No. 43-04, § 1, eff. 12-6-2004; Ord. No. 34-05, § 1, eff. 12-6-2005; Ord. No. 14-10, § 1, eff. 8-17-2010; Ord. No. 24-14, § 1, eff. 9-4-2014; Ord. No. 2019-37, § 1, eff. 11-27-2019; Ord. No. 2020-10, § 1, eff. 7-7-2020; Ord. No. 2021-20, § 1, eff. 9-9-2021; Ord. No. 2021-25, § 1, eff. 10-6-2021; Ord. No. 2023-26, § 1, eff. 7-14-2023)
Editor's note— Ord. No. 34-05, effective December 6, 2005, did not amend Map No. 1, but corrected a scrivener's error in Map No. 1 that occurred in Ord. No. 43-04, effective December 6, 2004.
(Code 1936; Code 1945; Code 1954; Code 1964; Code 1984; Ord. No. 171-D, § 1, eff. 12-25-1940; Ord. No. 206-D, § 1, eff. 7-16-1941; Ord. No. 112-F, § 1, eff. 4-12-1956; Ord. No. 140-F, § 1, eff. 8-2-1956; Ord. No. 255-F, § 1, eff. 1-16-1958; Ord. No. 609-F, § 1, eff. 10-19-1961; Ord. No. 641-F, § 1, eff. 1-25-1962; Ord. No. 741-F, § 1, eff. 11-22-1962; Ord. No. 389-G, § 1, eff. 12-18-1968; Ord. No. 621-G, § 1, eff. 10-28-1971; Ord. No. 685-G, § 1, eff. 2-1-1973; Ord. No. 732-G, § 1, eff. 11-2-1972; Ord. No. 17-H, § 1, eff. 1-13-1975; Ord. No. 197-H, § 1, eff. 8-12-1977; Ord. No. 249-H, § 1, eff. 5-23-1978; Ord. No. 446-H, § 1, eff. 7-5-1981; Ord. No. 29-86, § 1, eff. 12-24-1986; Ord. No. 21-89, § 1, eff. 12-1-1989; Ord. No. 20-90, § 1, eff. 12-15-1990; Ord. No. 42-95, § 1, eff. 12-21-1995; Ord. No. 03-96, § 1, eff. 3-29-1996; Ord. No. 19-98, § 1, eff. 7-27-1998; Ord. No. 21-98, § 1, eff. 8-14-1998; Ord. No. 23-98, § 1, eff. 8-24-1998; Ord. No. 33-98, § 1, eff. 10-19-1998; Ord. No. 03-99, § 1, eff. 4-1-1999; Ord. No. 06-99, § 2, eff. 6-2-1999; Ord. No. 35-99, § 1, eff. 12-3-1999; Ord. No. 17-00, § 1, eff. 9-2-2000; Ord. No. 18-02, § 1, eff. 10-25-2002; Ord. No. 25-03, § 1, eff. 7-16-2003; Ord. No. 06-04, § 1, eff. 2-26-2004; Ord. No. 28-04, § 1, eff. 8-10-2004; Ord. No. 43-04, § 1, eff. 12-6-2004; Ord. No. 17-05, § 1, eff. 5-6-2005; Ord. No. 34-05, § 1, eff. 12-6-2005; Ord. No. 24-06, § 1, eff. 8-11-2006; Ord. No. 26-06, § 1, eff. 8-16-2006; Ord. No. 21-07, § 1, eff. 7-2-2007; Ord. No. 31-07, § 1, eff. 11-26-2007; Ord. No. 05-10, § 1, eff. 4-27-2010; Ord. No. 30-11, § 1, eff. 12-14-2011; Ord. No. 31-11, § 1, eff. 12-22-2011; Ord. No. 32-11, § 1, eff. 12-22-2011; Ord. No. 28-14, § 1, eff. 9-5-2014; Ord. No. 44-16, § 1, eff. 3-2-2017; Ord. No. 02-17, § 1, eff. 4-18-2017; Ord. No. 2019-32, § 1, eff. 10-25-2019; Ord. No. 2021-10, § 1, eff. 4-1-2021; Ord. No. 2021-28, § 1, eff. 10-27-2021; Ord. No. 2023-40, § 1, eff. 12-2-2023)
Editor's note— Ord. No. 34-05, effective December 6, 2005, did not amend Map No. 2, but corrected a scrivener's error in Map No. 2 that occurred in Ord. No. 17-05, effective May 6, 2005.
(Code 1936; Code 1945; Code 1954; Code 1964; Code 1984; Ord. No. 171-D, § 1, eff. 12-25-1940; Ord. No. 185-D, § 1, eff. 4-2-1941; Ord. No. 218-D, § 1, eff. 11-6-1941; Ord. No. 69-E, § 1, eff. 4-11-1946; Ord. No. 275-E, § 1, eff. 9-23-1948; Ord. No. 300-E, § 1, eff. 2-17-1949; Ord. No. 312-E, § 1, eff. 4-21-1949; Ord. No. 392-E, § 1, eff. 12-29-1949; Ord. No. 407-E, § 1, eff. 2-23-1950; Ord. No. 430-E, § 1, eff. 5-4-1950; Ord. No. 504-E, § 1, eff. 11-2-1950; Ord. No. 560-E, § 1, eff. 6-21-1951; Ord. No. 772-E, § 1, eff. 8-6-1953; Ord. No. 786-E, § 1, eff. 9-24-1953; Ord. No. 870-E, § 1, eff. 6-24-1954; Ord. No. 174-F, § 1, eff. 1-10-1957; Ord. No. 434-F, § 1, eff. 12-17-1959; Ord. No. 846-F, § 1, eff. 4-9-1964; Ord. No. 213-G, § 1, eff. 11-23-1966; Ord. No. 307-G, § 1, eff. 1-18-1968; Ord. No. 316-G, § 1, eff. 3-27-1968; Ord. No. 318-G, § 1, eff. 3-31-1968; Ord. No. 462-G, § 1, eff. 10-15-1969; Ord. No. 473-G, § 1, eff. 12-10-1969; Ord. No. 653-G, § 1, eff. 3-8-1972; Ord. No. 697-G, § 1, eff. 7-20-1972; Ord. No. 850-G, § 1, eff. 10-10-1973; Ord. No. 58-H, § 1, eff. 10-10-1975; Ord. No. 152-H, § 1, eff. 11-10-1976; Ord. No. 520-H, § 1, eff. 11-5-1982; Ord. No. 565-H, § 1, eff. 10-21-1983; Ord. No. 21-96, § 1, eff. 9-24-1996; Ord. No. 34-97, § 1, eff. 10-20-1997; Ord. No. 22-98, § 1, eff. 8-31-1998; Ord. No. 34-98, § 1, eff. 10-27-1998; Ord. No. 28-00, § 1, eff. 12-8-2000; Ord. No. 05-01, § 1, eff. 5-21-2001; Ord. No. 07-02, § 1, eff. 7-26-2002; Ord. No. 28-02, § 1, eff. 12-19-2002; Ord. No. 16-05, § 1, eff. 5-6-2005; Ord. No. 34-05, § 1, eff. 12-6-2005; Ord. No. 35-05, § 1, eff. 12-13-2005; Ord. No. 04-06, § 1, eff. 2-27-2006; Ord. No. 41-06, § 1, eff. 12-6-2006; Ord. No. 19-08, § 1, eff. 9-11-2008; Ord. No. 21-09, § 1, eff. 11-6-2009; Ord. No. 05-13, § 1, eff. 3-27-2013; Ord. No. 07-13, § 1, eff. 3-27-2013; Ord. No. 30-13, § 1, eff. 12-24-2013; Ord. No. 02-14, § 1, eff. 4-23-2014; Ord. No. 10-15, § 1, eff. 5-12-2015; Ord. No. 08-16, § 1, eff. 4-23-2016; Ord. No. 16-16, § 1, eff. 5-28-2016; Ord. No. 08-17, § 1, eff. 5-20-2017; Ord. No. 2020-39, § 1, eff. 12-10-2020; Ord. No. 2021-16, § 1, eff. 5-26-2021; Ord. No. 2021-20, § 1, eff. 9-9-2021; Ord. No. 2023-15, § 1, eff. 5-26-2023)
Editor's note— Ord. No. 34-05, effective December 6, 2005, did not amend Map No. 3, but corrected a scrivener's error in Map No. 3 that occurred in Ord. No. 16-05, effective May 6, 2005.
(Code 1936; Code 1945; Code 1954; Code 1964; Code 1984; Ord. No. 171-D, § 1, eff. 12-25-1940; Ord. No. 206-D, § 1, eff. 7-16-1941; Ord. No. 246-D, § 1, eff. 4-23-1942; Ord. No. 437-E, § 1, eff. 5-25-1950; Ord. No. 557-E, § 1, eff. 6-21-1951; Ord. No. 616-E, § 1, eff. 3-6-1952; Ord. No. 671-E, § 1, eff. 9-25-1952; Ord. No. 255-F, § 1, eff. 1-16-1958; Ord. No. 783-F, § 1, eff. 5-15-1963; Ord. No. 85-G, § 1, eff. 6-23-1965; Ord. No. 94-G, § 1, eff. 7-8-1965; Ord. No. 110-G, § 1, eff. 9-8-1965; Ord. No. 153-G, § 1, eff. 3-9-1966; Ord. No. 211-G, § 1, eff. 11-16-1966; Ord. No. 369-G, § 1, eff. 10-23-1968; Ord. No. 439-G, § 1, eff. 7-13-1969; Ord. No. 481-G, § 1, eff. 1-18-1970; Ord. No. 711-G, § 1, eff. 8-23-1972; Ord. No. 804-G, § 1, eff. 4-12-1973; Ord. No. 13-H, § 1, eff. 1-8-1975; Ord. No. 457-H, § 1, eff. 7-31-1981; Ord. No. 463-H, § 1, eff. 8-19-1981; Ord. No. 526-H, § 1, eff. 11-9-1982; Ord. No. 20-89, § 1, eff. 11-6-1989; Ord. No. 26-93, § 1, eff. 12-1-1993; Ord. No. 01-96, § 1, eff. 3-6-1996; Ord. No. 25-96, § 1, eff. 10-25-1996; Ord. No. 37-98, § 1, eff. 10-30-1998; Ord. No. 34-05, § 1, eff. 12-6-2005; Ord. No. 39-07, § 1, eff. 12-5-2008; Ord. No. 25-09, § 1, eff. 12-5-2009; Ord. No. 26-09, § 1, eff. 12-5-2009; Ord. No. 28-10, § 1, eff. 12-15-2010; Ord. No. 35-11, § 1, eff. 12-22-2011; Ord. No. 03-12, § 1, eff. 3-8-2012; Ord. No. 24-13, § 1, eff. 8-28-2013; Ord. No. 29-14, § 1, eff. 9-5-2014; Ord. No. 07-16, § 1, eff. 4-23-2016; Ord. No. 29-16, § 1, eff. 8-23-2016; Ord. No. 31-16, § 1, eff. 10-8-2016; Ord. No. 20-17, § 1, eff. 8-26-2017; Ord. No. 24-17, § 1, eff. 9-9-2017; Ord. No. 27-17, § 1, eff. 10-28-2017; Ord. No. 30-17, § 1, eff. 11-17-2017; Ord. No. 26-18, § 1, eff. 12-13-2018; Ord. No. 14-19, § 1, eff. 6-8-2019; Ord. No. 26-19, § 1, eff. 9-5-2019; Ord. No. 2019-35, § 1, eff. 12-4-2019; Ord. No. 2019-47, § 1, eff. 12-28-2019; Ord. No. 2020-8, § 1, eff. 11-14-2020; Ord. No. 2020-16, § 1, eff. 8-6-2020; Ord. No. 2020-33, § 1, eff. 10-31-2020; Ord. No. 2020-40, § 1, eff. 12-10-2020; Ord. No. 2021-19, § 1, eff. 7-17-2021; Ord. No. 2022-18, § 1, eff. 9-28-2022; Ord. No. 2023-35, § 1, eff. 12-2-2023)
Editor's note— Ord. No. 34-05, effective December 6, 2005, did not amend Map No. 4, but corrected a scrivener's error in Map No. 4 that occurred in Ord. No. 37-98, effective October 30, 1998.
Editor's note— Ord. No. 2020-33, effective October 31, 2020, includes §§ 1—13 of the Brush Park Form-Based Code.
Editor's note— Ord. No. 2023-35, effective December 2, 2023, includes §§ 1—13 of the Brush Park Form-Based Code.
(Code 1936; Code 1945; Code 1954; Code 1964; Code 1984; Ord. No. 171-D, § 1, eff. 12-25-1940; Ord. No. 105-E, § 1, eff. 9-19-1946; Ord. No. 352-E, § 1, eff. 7-21-1949; Ord. No. 411-E, § 1, eff. 3-9-1950; Ord. No. 412-E, § 1, eff. 3-9-1950; Ord. No. 429-E, § 1, eff. 5-4-1950; Ord. No. 430-E, § 1, eff. 5-4-1950; Ord. No. 469-E, § 1, eff. 8-16-1950; Ord. No. 500-E, § 1, eff. 10-19-1950; Ord. No. 501-E, § 1, eff. 10-19-1950; Ord. No. 504-E, § 1, eff. 11-2-1950; Ord. No. 534-E, § 1, eff. 2-15-1951; Ord. No. 603-E, § 1, eff. 12-6-1951; Ord. No. 359-F, § 1, eff. 3-5-1959; Ord. No. 434-F, § 1, eff. 12-17-1959; Ord. No. 840-F, § 1, eff. 3-11-1964; Ord. No. 891-F, § 1, eff. 10-1-1964; Ord. No. 186-G, § 1, eff. 7-13-1966; Ord. No. 479-G, § 1, eff. 1-16-1970; Ord. No. 606-G, § 1, eff. 9-16-1971; Ord. No. 693-G, § 1, eff. 7-6-1972; Ord. No. 770-G, § 1, eff. 12-13-1972; Ord. No. 833-G, § 1, eff. 7-5-1973; Ord. No. 34-97, § 1, eff. 10-20-1997; Ord. No. 05-01, § 1, eff. 5-21-2001; Ord. No. 39-06, § 1, eff. 12-6-2006; Ord. No. 08-09, § 1, eff. 8-10-2009; Ord. No. 17-09, § 1, eff. 10-30-2009; Ord. No. 19-11, § 1, eff. 8-31-2011; Ord. No. 41-14, § 1, eff. 10-18-2014; Ord. No. 16-16, § 1, eff. 5-28-2016; Ord. No. 27-18, § 1, eff. 12-13-2018; Ord. No. 2022-7, § 1, eff. 3-19-2022; Ord. No. 2023-16, § 1, eff. 5-25-2023)
(Code 1936; Code 1945; Code 1954; Code 1964; Code 1984; Ord. No. 171-D, § 1, eff. 12-25-1940; Ord. No. 148-E, § 1, eff. 5-15-1947; Ord. No. 291-E, § 1, eff. 12-23-1948; Ord. No. 465-E, § 1, eff. 8-4-1950; Ord. No. 258-F, § 1, eff. 1-16-1958; Ord. No. 358-F, § 1, eff. 3-5-1959; Ord. No. 407-F, § 1, eff. 9-4-1959; Ord. No. 475-F, § 1, eff. 5-19-1960; Ord. No. 58-G, § 1, eff. 3-25-1965; Ord. No. 211-G, § 1, eff. 11-16-1966; Ord. No. 292-G, § 1, eff. 11-16-1967; Ord. No. 422-G, § 1, eff. 5-14-1969; Ord. No. 585-G, § 1, eff. 6-3-1971; Ord. No. 650-G, § 1, eff. 3-2-1972; Ord. No. 770-G, § 1, eff. 12-13-1972; Ord. No. 771-G, § 1, eff. 11-16-1972; Ord. No. 845-G, § 1, eff. 9-26-1973; Ord. No. 902-G, § 1, eff. 6-27-1974; Ord. No. 463-H, § 1, eff. 8-19-1981; Ord. No. 24-90, § 1, eff. 12-14-1990; Ord. No. 26-91, § 1, eff. 9-30-1991; Ord. No. 29-91, § 1, eff. 12-9-1991; Ord. No. 38-97, § 1, eff. 11-19-1997; Ord. No. 07-99, § 1, eff. 5-10-1999; Ord. No. 15-11, § 1, eff. 8-12-2011; Ord. No. 39-16, § 1, eff. 12-20-2016; Ord. No. 20-17, § 1, eff. 8-26-2017; Ord. No. 13-18, § 1, eff. 6-29-2018; Ord. No. 17-18, § 1, eff. 12-28-2018; Ord. No. 21-18, § 1, eff. 8-22-2018; Ord. No. 22-18, § 1, eff. 8-22-2018; Ord. No. 04-19, § 1, eff. 6-7-2019; Ord. No. 2021-35, § 1, eff. 11-12-2021; Ord. No. 2021-41, § 1, eff. 12-2-2021; Ord. No. 2022-13, § 1, eff. 5-26-2022)
(Code 1936; Code 1945; Code 1954; Code 1964; Code 1984; Ord. No. 171-D, § 1, eff. 12-25-1940; Ord. No. 31-E, § 1, eff. 8-16-1945; Ord. No. 157-E, § 1, eff. 6-12-1947; Ord. No. 387-E, § 1, eff. 12-8-1949; Ord. No. 413-E, § 1, eff. 3-16-1950; Ord. No. 501-E, § 1, eff. 10-19-1950; Ord. No. 660-E, § 1, eff. 8-7-1952; Ord. No. 60-F, § 1, eff. 10-20-1955; Ord. No. 206-F, § 1, eff. 6-27-1957; Ord. No. 227-F, § 1, eff. 9-26-1957; Ord. No. 313-F, § 1, eff. 8-7-1958; Ord. No. 442-F, § 1, eff. 1-15-1960; Ord. No. 717-F, § 1, eff. 8-23-1962; Ord. No. 734-F, § 1, eff. 10-18-1962; Ord. No. 11-G, § 1, eff. 11-19-1964; Ord. No. 66-G, § 1, eff. 4-14-1965; Ord. No. 197-G, § 1, eff. 8-31-1966; Ord. No. 351-G, § 1, eff. 9-1-1968; Ord. No. 693-G, § 1, eff. 7-6-1972; Ord. No. 713-G, § 1, eff. 8-3-1972; Ord. No. 775-G, § 1, eff. 12-27-1972; Ord. No. 837-G, § 1, eff. 8-2-1973; Ord. No. 261-H, § 1, eff. 6-19-1978; Ord. No. 358-H, § 1, eff. 12-11-1979; Ord. No. 366-H, § 1, eff. 1-17-1980; Ord. No. 498-H, § 1, eff. 5-7-1982; Ord. No. 24-85, § 1, eff. 7-25-1985; Ord. No. 37-92, § 1, eff. 12-11-1992; Ord. No. 03-03, § 1, eff. 4-7-2003; Ord. No. 28-12, § 1, eff. 12-28-2012; Ord. No. 26-14, § 1, eff. 9-7-2014; Ord. No. 27-14, § 1, 9-4-2014; Ord. No. 11-18, § 1, eff. 6-15-2018; Ord. No. 2019-41, § 1, eff. 12-26-2019; Ord. No. 2020-36, § 1, eff. 11-14-2020; Ord. No. 2021-40, § 1, eff. 12-2-2021; Ord. No. 2024-4, § 1, eff. 3-16-2024)
(Code 1936; Code 1945; Code 1954; Code 1964; Code 1984; Ord. No. 171-D, § 1, eff. 12-25-1940; Ord. No. 429-D, § 1, eff. 10-12-1944; Ord. No. 408-F, § 1, eff. 9-4-1959; Ord. No. 578-F, § 1, eff. 6-30-1961; Ord. No. 871-F, § 1, eff. 6-28-1964; Ord. No. 576-G, § 1, eff. 5-5-1971; Ord. No. 717-G, § 1, eff. 9-14-1972; Ord. No. 03-03, § 1, eff. 4-7-2003; Ord. No. 18-11, § 1, eff. 8-4-2011; Ord. No. 44-14, § 1, eff. 12-20-2014; Ord. No. 16-17, § 1, eff. 6-9-2017)
(Code 1936; Code 1945; Code 1954; Code 1964; Code 1984; Ord. No. 171-D, § 1, eff. 12-25-1940; Ord. No. 818-E, § 1, eff. 2-18-1954; Ord. No. 844-E, § 1, eff. 3-25-1954; Ord. No. 284-F, § 1, eff. 5-8-1958; Ord. No. 868-F, § 1, eff. 6-21-1964; Ord. No. 837-G, § 1, eff. 8-2-1973; Ord. No. 20-15, § 1, eff. 10-7-2015; Ord. No. 10-17, § 1, eff. 6-3-2017)
(Code 1936; Code 1945; Code 1954; Code 1964; Code 1984; Ord. No. 171-D, § 1, eff. 12-25-1940; Ord. No. 218-D, § 1, eff. 11-6-1941; Ord. No. 327-F, § 1, eff. 9-25-1958; Ord. No. 471-F, § 1, eff. 4-21-1960; Ord. No. 661-G, § 1, eff. 3-29-1972; Ord. No. 599-H, § 1, eff. 11-12-1984; Ord. No. 34-05, § 1, eff. 12-6-2005)
Editor's note— Ord. No. 34-05, effective December 6, 2005, did not amend Map No. 10, but corrected a scrivener's error in Map No. 10 that occurred in Ord. No. 599-H, effective November 12, 1984.
(Code 1936; Code 1945; Code 1954; Code 1964; Code 1984; Ord. No. 171-D, § 1, eff. 12-25-1940; Ord. No. 206-D, § 1, eff. 7-16-1941; Ord. No. 36-F, § 1, eff. 6-2-1955; Ord. No. 881-F, § 1, eff. 8-19-1964; Ord. No. 383-G, § 1, eff. 11-20-1968; Ord. No. 735-G, § 1, eff. 11-9-1972; Ord. No. 22-H, § 1, eff. 3-7-1975; Ord. No. 61-H, § 1, eff. 10-31-1975; Ord. No. 508-H, § 1, eff. 7-9-1982; Ord. No. 512-H, § 1, eff. 10-1-1982; Ord. No. 15-86, § 1, eff. 8-22-1986; Ord. No. 20-87, § 1, eff. 9-29-1987; Ord. No. 15-95, § 1, eff. 7-12-1995; Ord. No. 31-97, § 1, eff. 9-26-1997; Ord. No. 19-98, § 1, eff. 7-27-1998; Ord. No. 06-99, § 2, eff. 6-2-1999; Ord. No. 18-02, § 1, eff. 10-25-2002; Ord. No. 34-05, § 1, eff. 12-6-2005; Ord. No. 21-07, § 1, eff. 7-2-2007; Ord. No. 03-13, § 1, eff. 6-13-2013; Ord. No. 05-14, § 1, eff. 5-10-2014; Ord. No. 04-15, § 1, eff. 3-20-2015; Ord. No. 2019-46, § 1, eff. 12-28-2019)
Editor's note— Ord. No. 34-05, effective December 6, 2005, did not amend Map No. 11, but corrected a scrivener's error in Map No. 11 that occurred in Ord. No. 18-02, effective October 25, 2002.
(Code 1936; Code 1945; Code 1954; Code 1964; Code 1984; Ord. No. 171-D, § 1, eff. 12-25-1940; Ord. No. 206-D, § 1, eff. 7-16-1941; Ord. No. 155-E, § 1, eff. 6-12-1947; Ord. No. 168-E, § 1, eff. 8-21-1947; Ord. No. 273-E, § 1, eff. 9-16-1948; Ord. No. 410-E, § 1, eff. 3-2-1950; Ord. No. 431-E, § 1, eff. 5-11-1950; Ord. No. 364-F, § 1, eff. 3-15-1959; Ord. No. 501-F, § 1, eff. 7-14-1960; Ord. No. 881-F, § 1, eff. 8-19-1964; Ord. No. 54-G, § 1, eff. 3-17-1965; Ord. No. 427-G, § 1, eff. 6-4-1969; Ord. No. 517-G, § 1, eff. 7-30-1970; Ord. No. 570-G, § 1, eff. 3-25-1971; Ord. No. 657-G, § 1, eff. 3-22-1972; Ord. No. 22-H, § 1, eff. 3-7-1975; Ord. No. 18-90, § 1, eff. 11-16-1990; Ord. No. 34-04, § 1, eff. 11-19-2004; Ord. No. 34-05, § 1, eff. 12-6-2005; Ord. No. 22-10, § 1, eff. 11-26-2010; Ord. No. 12-17, § 1, eff. 7-25-2017; Ord. No. 2019-34, § 1, eff. 1-21-2020; Ord. No. 2022-18, § 1, eff. 9-28-2022)
Editor's note— Ord. No. 34-05, effective December 6, 2005, did not amend Map No. 12, but corrected a scrivener's error in Map No. 12 that occurred in Ord. No. 34-04, effective November 19, 2004.
(Code 1936; Code 1945; Code 1954; Code 1964; Code 1984; Ord. No. 171-D, § 1, eff. 12-25-1940; Ord. No. 447-E, § 1, eff. 6-22-1950; Ord. No. 536-E, § 1, eff. 3-1-1951; Ord. No. 537-E, § 1, eff. 3-8-1951; Ord. No. 220-F, § 1, eff. 8-29-1957; Ord. No. 225-F, § 1, eff. 9-19-1957; Ord. No. 296-F, § 1, eff. 7-3-1958; Ord. No. 618-F, § 1, eff. 11-22-1961; Ord. No. 516-G, § 1, eff. 7-30-1970; Ord. No. 34-05, § 1, eff. 12-6-2005; Ord. No. 2022-18, § 1, eff. 9-28-2022)
Editor's note— Ord. No. 34-05, effective December 6, 2005, did not amend Map No. 13, but corrected a scrivener's error in Map No. 13 that occurred in Ord. No. 516-G, effective July 30, 1970.
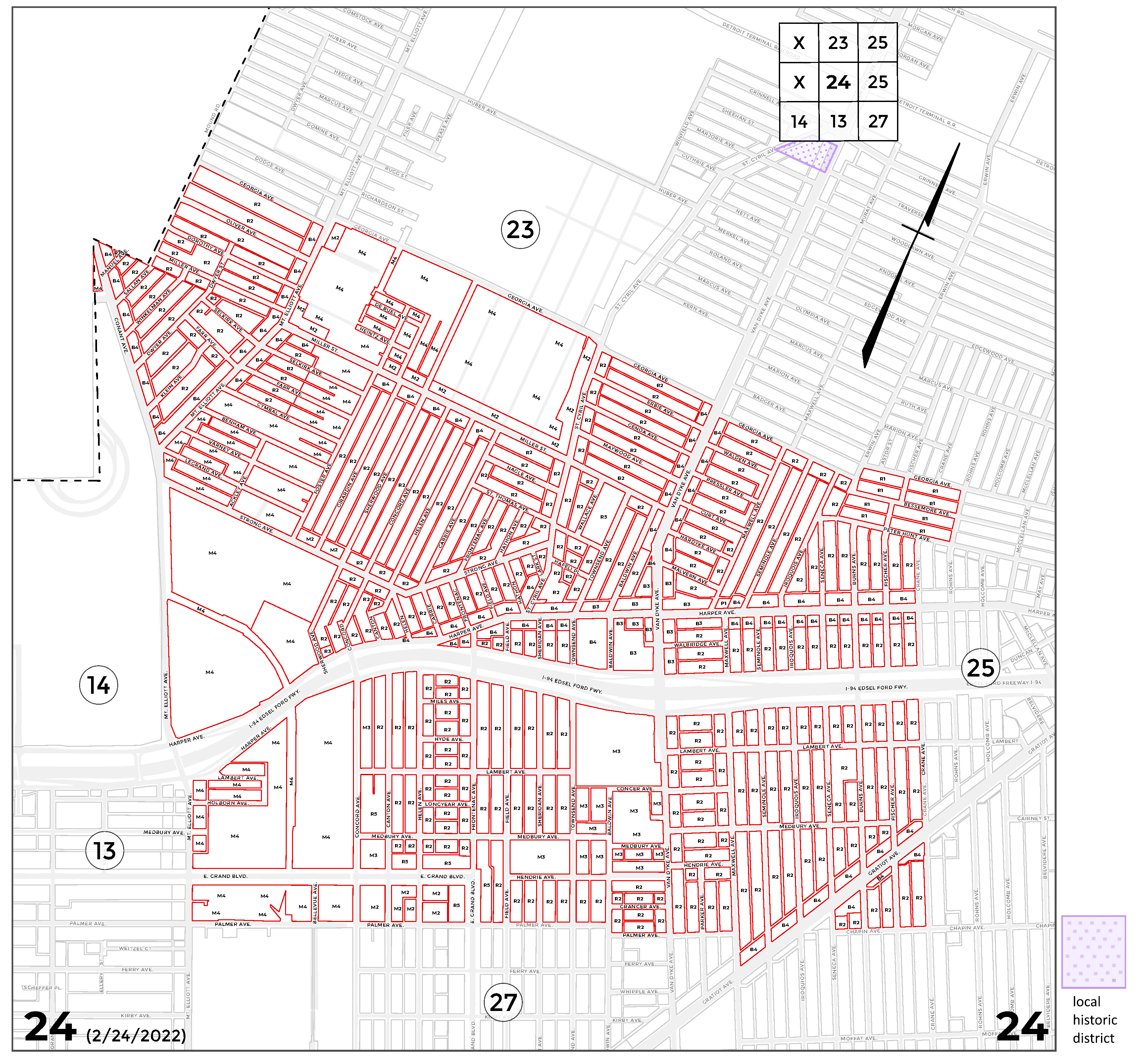
(Code 1936; Code 1945; Code 1954; Code 1964; Code 1984; Ord. No. 171-D, § 1, eff. 12-25-1940; Ord. No. 567-F, § 1, eff. 5-14-1961; Ord. No. 434-H, § 1, eff. 4-24-1981; Ord. No. 16-85, § 1, eff. 6-27-1985; Ord. No. 34-05, § 1, eff. 12-6-2005)
Editor's note— Ord. No. 34-05, effective December 6, 2005, did not amend Map No. 14, but corrected a scrivener's error in Map No. 14 that occurred in Ord. No. 434-H, effective April 24, 1981.
(Code 1936; Code 1945; Code 1954; Code 1964; Code 1984; Ord. No. 171-D, § 1, eff. 12-25-1940; Ord. No. 543-G, § 1, eff. 11-25-1970; Ord. No. 17-91, § 1, eff. 6-14-1991; Ord. No. 34-05, § 1, eff. 12-6-2005; Ord. No. 05-07, § 1, eff. 2-28-2007)
Editor's note— Ord. No. 34-05, effective December 6, 2005, did not amend Map No. 15, but corrected a scrivener's error in Map No. 15 that occurred in Ord. No. 17-91, effective June 14, 1991.
(Code 1936; Code 1945; Code 1954; Code 1964; Code 1984; Ord. No. 171-D, § 1, eff. 12-25-1940; Ord. No. 280-D, § 1, eff. 9-2-1942; Ord. No. 111-E, § 1, eff. 10-31-1946; Ord. No. 160-E, § 1, eff. 6-26-1947; Ord. No. 467-E, § 1, eff. 8-4-1950; Ord. No. 589-E, § 1, eff. 10-4-1951; Ord. No. 624-E, § 1, eff. 4-17-1952; Ord. No. 634-E, § 1, eff. 5-29-1952; Ord. No. 723-E, § 1, eff. 3-18-1953; Ord. No. 895-E, § 1, eff. 9-9-1954; Ord. No. 865-G, § 1, eff. 1-2-1974; Ord. No. 12-13, § 1, eff. 5-31-2013)
(Code 1936; Code 1945; Code 1954; Code 1964; Code 1984; Ord. No. 171-D, § 1, eff. 12-25-1940; Ord. No. 143-E, § 1, eff. 4-24-1947; Ord. No. 148-E, § 1, eff. 5-15-1947; Ord. No. 242-E, § 1, eff. 6-24-1948; Ord. No. 245-E, § 1, eff. 7-1-1948; Ord. No. 370-E, § 1, eff. 11-3-1949; Ord. No. 466-E, § 1, eff. 8-4-1950; Ord. No. 605-E, § 1, eff. 1-10-1952; Ord. No. 912-E, § 1, eff. 10-20-1954; Ord. No. 205-F, § 1, eff. 6-20-1957; Ord. No. 210-F, § 1, eff. 7-25-1957; Ord. No. 530-F, § 1, eff. 10-27-1960; Ord. No. 740-F, § 1, eff. 11-22-1962; Ord. No. 850-F, § 1, eff. 4-16-1964; Ord. No. 885-F, § 1, eff. 9-21-1964; Ord. No. 164-H, § 1, eff. 12-23-1976; Ord. No. 34-05, § 1, eff. 12-6-2005; Ord. No. 10-19, § 1, eff. 7-3-2019)
Editor's note— Ord. No. 34-05, effective December 6, 2005, did not amend Map No. 16, but corrected a scrivener's error in Map No. 16 that occurred in Ord. No. 164-H, effective December 23, 1976.
(Code 1936; Code 1945; Code 1954; Code 1964; Code 1984; Ord. No. 171-D, § 1, eff. 12-25-1940; Ord. No. 218-D, § 1, eff. 11-6-1941; Ord. No. 282-D, § 1, eff. 9-30-1942; Ord. No. 104-E, § 1, eff. 9-12-1946; Ord. No. 126-E, § 1, eff. 1-2-1947; Ord. No. 269-E, § 1, eff. 9-2-1948; Ord. No. 334-E, § 1, eff. 6-23-1949; Ord. No. 374-E, § 1, eff. 11-3-1949; Ord. No. 468-E, § 1, eff. 8-4-1950; Ord. No. 525-E, § 1, eff. 1-18-1951; Ord. No. 571-E, § 1, eff. 7-19-1951; Ord. No. 588-E, § 1, eff. 10-4-1951; Ord. No. 643-E, § 1, eff. 7-3-1952; Ord. No. 667-E, § 1, eff. 8-28-1952; Ord. No. 679-E, § 1, eff. 10-16-1952; Ord. No. 73-F, § 1, eff. 12-15-1955; Ord. No. 177-F, § 1, eff. 2-1-1957; Ord. No. 267-F, § 1, eff. 2-20-1958; Ord. No. 399-F, § 1, eff. 8-6-1959; Ord. No. 608-F, § 1, eff. 10-19-1961; Ord. No. 460-G, § 1, eff. 10-15-1969; Ord. No. 12-86, § 1, eff. 8-14-1986; Ord. No. 34-05, § 1, eff. 12-6-2005; Ord. No. 2023-3, § 1, eff. 2-4-2023)
Editor's note— Ord. No. 34-05, effective December 6, 2005, did not amend Map No. 17, but corrected a scrivener's error in Map No. 17 that occurred in Ord. No. 12-86, effective August 14, 1986.
(Code 1936; Code 1945; Code 1954; Code 1964; Code 1984; Ord. No. 171-D, § 1, eff. 12-25-1940; Ord. No. 187-D, § 1, eff. 5-8-1941; Ord. No. 210-D, § 1, eff. 8-6-1941; Ord. No. 218-D, § 1, eff. 11-6-1941; Ord. No. 282-D, § 1, eff. 9-30-1942; Ord. No. 345-D, § 1, eff. 8-19-1943; Ord. No. 42-E, § 1, eff. 10-18-1945; Ord. No. 53-E, § 1, eff. 1-31-1946; Ord. No. 56-E, § 1, eff. 2-21-1946; Ord. No. 188-E, § 1, eff. 10-2-1947; Ord. No. 356-E, § 1, eff. 9-8-1949; Ord. No. 584-E, § 1, eff. 9-21-1951; Ord. No. 676-E, § 1, eff. 10-10-1952; Ord. No. 813-E, § 1, eff. 12-17-1953; Ord. No. 891-E, § 1, eff. 8-26-1954; Ord. No. 54-F, § 1, eff. 10-6-1955; Ord. No. 83-F, § 1, eff. 1-12-1956; Ord. No. 103-F, § 1, eff. 3-29-1956; Ord. No. 223-F, § 1, eff. 9-5-1957; Ord. No. 254-F, § 1, eff. 1-2-1958; Ord. No. 608-F, § 1, eff. 10-19-1961; Ord. No. 121-G, § 1, eff. 10-14-1965; Ord. No. 165-G, § 1, eff. 4-15-1966; Ord. No. 476-G, § 1, eff. 12-29-1969; Ord. No. 06-86, § 1, eff. 7-17-1986; Ord. No. 35-06, § 1, eff. 12-1-2006; Ord. No. 13-13, § 1, eff. 11-7-2013; Ord. No. 2020-20, § 1, eff. 7-28-2020)
(Code 1936; Code 1945; Code 1954; Code 1964; Code 1984; Ord. No. 171-D, § 1, eff. 12-25-1940; Ord. No. 9-E, § 1, eff. 4-26-1945; Ord. No. 53-E, § 1, eff. 1-31-1946; Ord. No. 80-E, § 1, eff. 5-16-1946; Ord. No. 211-E, § 1, eff. 12-25-1947; Ord. No. 488-E, § 1, eff. 10-5-1950; Ord. No. 551-E, § 1, eff. 5-10-1951; Ord. No. 39-F, § 1, eff. 7-28-1955; Ord. No. 477-G, § 1, eff. 12-29-1969; Ord. No. 431-H, § 1, eff. 4-29-1981; Ord. No. 34-05, § 1, eff. 12-6-2005; Ord. No. 16-12, § 1, eff. 8-11-2012; Ord. No. 19-19, § 1, eff. 8-3-2019)
Editor's note— Ord. No. 34-05, effective December 6, 2005, did not amend Map No. 19, but corrected a scrivener's error in Map No. 19 that occurred in Ord. No. 431-H, effective April 29, 1981.
(Code 1936; Code 1945; Code 1954; Code 1964; Code 1984; Ord. No. 171-D, § 1, eff. 12-25-1940; Ord. No. 442-D, § 1, eff. 12-21-1944; Ord. No. 65-E, § 1, eff. 3-28-1946; Ord. No. 107-E, § 1, eff. 10-3-1946; Ord. No. 130-E, § 1, eff. 2-6-1947; Ord. No. 152-E, § 1, eff. 5-29-1947; Ord. No. 227-E, § 1, eff. 4-1-1948; Ord. No. 301-E, § 1, eff. 2-17-1949; Ord. No. 318-E, § 1, eff. 5-19-1949; Ord. No. 418-E, § 1, eff. 3-23-1950; Ord. No. 511-E, § 1, eff. 11-23-1950; Ord. No. 819-F, § 1, eff. 12-12-1963; Ord. No. 93-G, § 1, eff. 6-10-1965; Ord. No. 375-G, § 1, eff. 11-6-1968)
(Code 1936; Code 1945; Code 1954; Code 1964; Code 1984; Ord. No. 171-D, § 1, eff. 12-25-1940; Ord. No. 232-D, § 1, eff. 1-22-1942; Ord. No. 99-E, § 1, eff. 8-1-1946; Ord. No. 211-E, § 1, eff. 12-25-1947; Ord. No. 345-E, § 1, eff. 8-4-1949; Ord. No. 503-F, § 1, eff. 7-20-1960; Ord. No. 01-87, § 1, eff. 1-30-1987; Ord. No. 16-12, § 1, eff. 8-11-2012)
(Code 1936; Code 1945; Code 1954; Code 1964; Code 1984; Ord. No. 171-D, § 1, eff. 12-25-1940; Ord. No. 218-D, § 1, eff. 11-6-1941; Ord. No. 367-D, § 1, eff. 3-9-1944; Ord. No. 180-E, § 1, eff. 8-14-1947; Ord. No. 227-E, § 1, eff. 4-1-1948; Ord. No. 511-E, § 1, eff. 11-23-1950; Ord. No. 115-F, § 1, eff. 5-17-1956; Ord. No. 176-F, § 1, eff. 2-1-1957; Ord. No. 233-F, § 1, eff. 10-25-1957; Ord. No. 447-F, § 1, eff. 1-28-1960; Ord. No. 510-F, § 1, eff. 8-10-1960; Ord. No. 812-F, § 1, eff. 11-13-1963; Ord. No. 870-F, § 1, eff. 6-28-1964; Ord. No. 141-G, § 1, eff. 1-20-1966; Ord. No. 168-G, § 1, eff. 5-25-1966; Ord. No. 2022-8, § 1, eff. 3-26-2022)
(Code 1936; Code 1945; Code 1954; Code 1964; Code 1984; Ord. No. 171-D, § 1, eff. 12-25-1940; Ord. No. 218-D, § 1, eff. 11-6-1941; Ord. No. 173-E, § 1, eff. 9-4-1947; Ord. No. 333-E, § 1, eff. 6-23-1949; Ord. No. 535-E, § 1, eff. 3-1-1951; Ord. No. 803-E, § 1, eff. 11-26-1953; Ord. No. 61-F, § 1, eff. 10-20-1955; Ord. No. 298-F, § 1, eff. 6-27-1958; Ord. No. 505-F, § 1, eff. 7-28-1960; Ord. No. 05-91, § 1, eff. 3-29-1991; Ord. No. 11-02, § 1, eff. 8-23-2002; Ord. No. 02-12, § 1, eff. 3-15-2012; Ord. No. 2019-31, § 1, eff. 10-26-2019; Ord. No. 2022-15, § 1, eff. 6-2-2022)
(Code 1936; Code 1945; Code 1954; Code 1964; Code 1984; Ord. No. 171-D, § 1, eff. 12-25-1940; Ord. No. 126-E, § 1, eff. 1-2-1947; Ord. No. 259-E, § 1, eff. 8-5-1948; Ord. No. 363-E, § 1, eff. 9-30-1949; Ord. No. 661-E, § 1, eff. 8-7-1952; Ord. No. 896-E, § 1, eff. 9-9-1954; Ord. No. 395-G, § 1, eff. 1-1-1969; Ord. No. 423-G, § 1, eff. 5-21-1969; Ord. No. 885-G, § 1, eff. 3-21-1974; Ord. No. 586-H, § 1, eff. 5-30-1984; Ord. No. 19-07, § 1, eff. 7-2-2007; Ord. No. 25-12, § 1, eff. 11-27-2012; Ord. No. 09-13, § 1, eff. 4-6-2013; Ord. No. 2020-25, § 1, eff. 8-25-2020; Ord. No. 2023-22, § 1, eff. 7-1-2023)
(Code 1936; Code 1945; Code 1954; Code 1964; Code 1984; Ord. No. 171-D, § 1, eff. 12-25-1940; Ord. No. 363-D, § 1, eff. 1-27-1944; Ord. No. 69-E, § 1, eff. 4-11-1946; Ord. No. 202-E, § 1, eff. 11-6-1947; Ord. No. 439-E, § 1, eff. 6-2-1950; Ord. No. 489-E, § 1, eff. 10-5-1950; Ord. No. 809-E, § 1, eff. 12-24-1953; Ord. No. 916-E, § 1, eff. 10-28-1954; Ord. No. 932-E, § 1, eff. 1-21-1955; Ord. No. 62-F, § 1, eff. 10-27-1955; Ord. No. 90-G, § 1, eff. 7-4-1965; Ord. No. 04-07, § 1, 3-2-2007; Ord. No. 11-15, § 1, eff. 5-16-2015)
(Code 1936; Code 1945; Code 1954; Code 1964; Code 1984; Ord. No. 171-D, § 1, eff. 12-25-1940; Ord. No. 437-D, § 1, eff. 11-23-1944; Ord. No. 530-E, § 1, eff. 1-18-1951; Ord. No. 537-E, § 1, eff. 3-8-1951; Ord. No. 815-E, § 1, eff. 1-16-1954; Ord. No. 378-F, § 1, eff. 5-7-1959; Ord. No. 560-F, § 1, eff. 3-11-1961; Ord. No. 643-F, § 1, eff. 1-25-1962; Ord. No. 221-G, § 1, eff. 1-11-1967; Ord. No. 842-G, § 1, eff. 9-13-1973; Ord. No. 889-G, § 1, eff. 5-16-1974; Ord. No. 345-H, § 1, eff. 9-28-1979; Ord. No. 06-97, § 1, eff. 3-24-1997; Ord. No. 34-04, § 1, eff. 11-19-2004; Ord. No. 36-05, § 1, eff. 12-13-2005)
(Code 1936; Code 1945; Code 1954; Code 1964; Code 1984; Ord. No. 171-D, § 1, eff. 12-25-1940; Ord. No. 218-D, § 1, eff. 11-6-1941; Ord. No. 369-E, § 1, eff. 10-27-1949; Ord. No. 794-F, § 1, eff. 7-11-1963; Ord. No. 187-G, § 1, eff. 7-13-1966; Ord. No. 199-G, § 1, eff. 9-15-1966; Ord. No. 440-G, § 1, eff. 7-23-1969; Ord. No. 651-G, § 1, eff. 3-2-1972; Ord. No. 18-88, § 1, eff. 6-30-1988; Ord. No. 08-93, § 1, eff. 7-2-1993; Ord. No. 07-98, § 1, eff. 3-25-1998; Ord. No. 40-06, § 1, eff. 12-13-2006; Ord. No. 11-19, § 1, eff. 7-4-2019; Ord. No. 2019-33, § 1, eff. 11-9-2019; Ord. No. 2022-9, § 1, eff. 4-8-2022; Ord. No. 2023-18, § 1, eff. 5-30-2023; Ord. No. 2023-19, § 1, eff. 5-30-2023; Ord. No. 2023-27, § 1, eff. 7-26-2023)
(Code 1936; Code 1945; Code 1954; Code 1964; Code 1984; Ord. No. 171-D, § 1, eff. 12-25-1940; Ord. No. 95-E, § 1, eff. 7-25-1946; Ord. No. 814-E, § 1, eff. 1-14-1954; Ord. No. 152-F, § 1, eff. 9-13-1956; Ord. No. 808-F, § 1, eff. 10-16-1963; Ord. No. 852-F, § 1, eff. 4-29-1964; Ord. No. 884-F, § 1, eff. 9-17-1964; Ord. No. 465-G, § 1, eff. 10-29-1969; Ord. No. 603-G, § 1, eff. 9-8-1971; Ord. No. 333-H, § 1, eff. 7-27-1979; Ord. No. 351-H, § 1, eff. 11-29-1979; Ord. No. 394-H, § 1, eff. 6-20-1980; Ord. No. 588-H, § 1, eff. 6-1-1984; Ord. No. 28-87, § 1, eff. 12-1-1987; Ord. No. 03-90, § 1, eff. 2-23-1990; Ord. No. 18-91, § 1, eff. 6-14-1991; Ord. No. 19-98, § 1, eff. 7-27-1998; Ord. No. 20-99, § 1, eff. 8-4-1999; Ord. No. 34-04, § 1, eff. 11-19-2004; Ord. No. 12-05, § 1, eff. 4-4-2005; Ord. No. 34-05, § 1, eff. 12-6-2005; Ord. No. 13-08, § 1, eff. 8-22-2008; Ord. No. 02-11, § 1, eff. 2-15-2011; Ord. No. 29-12, § 1, eff. 12-19-2012; Ord. No. 05-14, § 1, eff. 5-10-2014; Ord. No. 10-18, § 1, eff. 5-17-2018; Ord. No. 29-18, § 1, eff. 12-15-2018; Ord. No. 2021-3, § 1, eff. 2-11-2021)
Editor's note— Ord. No. 34-05, effective December 6, 2005, did not amend Map No. 29, but corrected a scrivener's error in Map No. 29 that occurred in Ord. No. 12-05, effective April 4, 2005.
(Code 1936; Code 1945; Code 1954; Code 1964; Code 1984; Ord. No. 171-D, § 1, eff. 12-25-1940; Ord. No. 218-D, § 1, eff. 11-6-1941; Ord. No. 126-E, § 1, eff. 1-2-1947; Ord. No. 579-E, § 1, eff. 9-6-1951; Code 1954; Ord. No. 204-F, § 1, eff. 6-20-1957; Ord. No. 715-F, § 1, eff. 8-23-1962; Ord. No. 794-F, § 1, eff. 7-11-1963; Ord. No. 126-G, § 1, eff. 11-11-1965; Ord. No. 330-G, § 1, eff. 7-4-1968; Ord. No. 564-G, § 1, eff. 2-24-1971; Ord. No. 651-G, § 1, eff. 3-2-1972; Ord. No. 789-G, § 1, eff. 2-21-1973; Ord. No. 167-H, § 1, eff. 1-6-1977; Ord. No. 334-H, § 1, eff. 7-27-1979; Ord. No. 18-88, § 1, eff. 6-30-1988; Ord. No. 02-01, § 1, eff. 4-12-2001; Ord. No. 23-05, § 1, eff. 7-11-2005; Ord. No. 34-05, § 1, eff. 12-6-2005; Ord. No. 26-07, § 1, eff. 8-3-2007; Ord. No. 27-07, § 1, eff. 8-3-2007; Ord. No. 11-19, § 1, eff. 7-4-2019; Ord. No. 2019-33, § 1, eff. 11-9-2019)
Editor's note— Ord. No. 34-05, effective December 6, 2005, did not amend Map No. 30, but corrected a scrivener's error in Map No. 30 that occurred in Ord. No. 23-05, effective July 11, 2005.
(Code 1936; Code 1945; Code 1954; Code 1964; Code 1984; Ord. No. 171-D, § 1, eff. 12-25-1940; Ord. No. 428-D, § 1, eff. 9-28-1944; Ord. No. 190-E, § 1, eff. 10-2-1947; Ord. No. 266-F, § 1, eff. 2-20-1958; Ord. No. 416-G, § 1, eff. 4-25-1969; Ord. No. 696-G, § 1, eff. 7-20-1972; Ord. No. 739-G, § 1, eff. 11-12-1972; Ord. No. 907-G, § 1, eff. 7-21-1974; Ord. No. 3-H, § 1, eff. 9-15-1974; Ord. No. 313-H, § 1, eff. 3-5-1979; Ord. No. 430-H, § 1, eff. 4-17-1981; Ord. No. 587-H, § 1, eff. 5-25-1984; Ord. No. 25-87, § 1, eff. 11-6-1987; Ord. No. 08-88, § 1, eff. 3-18-1988; Ord. No. 18-88, § 1, eff. 6-30-1988; Ord. No. 24-91, § 1, eff. 8-13-1991; Ord. No. 09-95, § 1, eff. 5-9-1995; Ord. No. 06-96, § 1, eff. 4-10-1996; Ord. No. 10-97, § 1, eff. 5-9-1997; Ord. No. 11-97, § 1, eff. 5-9-1997; Ord. No. 12-97, § 1, eff. 5-9-1997; Ord. No. 13-97, § 1, eff. 5-9-1997; Ord. No. 05-98, § 1, eff. 3-23-1998; Ord. No. 06-98, § 1, eff. 3-23-1998; Ord. No. 10-01, § 1, eff. 8-14-2001; Ord. No. 24-02, § 1, eff. 12-5-2002)
(Code 1936; Code 1945; Code 1954; Code 1964; Code 1984; Ord. No. 171-D, § 1, eff. 12-25-1940; Ord. No. 218-D, § 1, eff. 11-6-1941; Ord. No. 115-E, § 1, eff. 11-28-1946; Ord. No. 382-G, § 1, eff. 11-13-1968; Ord. No. 18-88, § 1, eff. 6-30-1988; Ord. No. 28-88, § 1, eff. 8-12-1988; Ord. No. 15-89, § 1, eff. 10-6-1989; Ord. No. 27-92, § 1, 10-5-1992; Ord. No. 24-95, § 1, eff. 8-28-1995; Ord. No. 29-97, § 1, eff. 8-12-1997; Ord. No. 16-04, § 1, eff. 5-26-2004; Ord. No. 09-06, § 1, eff. 4-21-2006; Ord. No. 10-06, § 1, eff. 4-20-2006; Ord. No. 31-17, § 1, eff. 11-17-2017; Ord. No. 40-17, § 1, eff. 3-30-2018)
(Code 1936; Code 1945; Code 1954; Code 1964; Code 1984; Ord. No. 171-D, § 1, eff. 12-25-1940; Ord. No. 212-D, § 1, eff. 9-25-1941; Ord. No. 189-E, § 1, eff. 10-2-1947; Ord. No. 872-E, § 1, eff. 7-1-1954; Ord. No. 86-F, § 1, eff. 1-26-1956; Ord. No. 151-F, § 1, eff. 9-13-1956; Ord. No. 207-F, § 1, eff. 6-27-1957; Ord. No. 458-F, § 1, eff. 2-18-1960; Ord. No. 536-F, § 1, eff. 12-1-1960; Ord. No. 878-F, § 1, eff. 8-6-1964; Ord. No. 604-G, § 1, eff. 9-8-1971; Ord. No. 474-H, § 1, eff. 10-30-1981; Ord. No. 17-12, § 1, eff. 8-16-2012)
(Code 1936; Code 1945; Code 1954; Code 1964; Code 1984; Ord. No. 171-D, § 1, eff. 12-25-1940; Ord. No. 209-D, § 1, eff. 8-6-1941; Ord. No. 218-D, § 1, eff. 11-6-1941; Ord. No. 382-E, § 1, eff. 11-17-1949; Ord. No. 458-F, § 1, eff. 2-18-1960; Ord. No. 28-88, § 1, eff. 8-12-1988; Ord. No. 16-00, § 1, eff. 8-24-2000; Ord. No. 09-03, § 1, eff. 5-12-2003; Ord. No. 16-04, § 1, eff. 5-26-2004; Ord. No. 09-12, § 1, eff. 6-27-2012)
(Code 1936; Code 1945; Code 1954; Code 1964; Code 1984; Ord. No. 171-D, § 1, eff. 12-25-1940; Ord. No. 218-D, § 1, eff. 11-6-1941; Ord. No. 437-D, § 1, eff. 11-23-1944; Ord. No. 48-E, § 1, eff. 12-28-1945; Ord. No. 681-E, § 1, eff. 10-23-1952; Ord. No. 806-E, § 1, eff. 12-10-1953; Ord. No. 915-E, § 1, eff. 10-28-1954; Ord. No. 926-E, § 1, eff. 12-23-1954; Ord. No. 314-F, § 1, eff. 8-7-1958; Ord. No. 96-G, § 1, eff. 7-14-1965; Ord. No. 670-G, § 1, eff. 4-19-1972)
(Code 1936; Code 1945; Code 1954; Code 1964; Code 1984; Ord. No. 171-D, § 1, eff. 12-25-1940; Ord. No. 186-D, § 1, eff. 4-23-1941; Ord. No. 205-D, § 1, eff. 7-16-1941; Ord. No. 215-D, § 1, eff. 10-16-1941; Ord. No. 55-E, § 1, eff. 2-21-1946; Ord. No. 109-E, § 1, eff. 10-17-1946; Ord. No. 174-E, § 1, eff. 9-4-1947; Ord. No. 393-E, § 1, eff. 12-29-1949; Ord. No. 898-E, § 1, eff. 9-16-1954; Ord. No. 637-F, § 1, eff. 1-18-1962; Ord. No. 710-F, § 1, eff. 7-19-1962; Ord. No. 353-G, § 1, eff. 9-12-1968; Ord. No. 475-G, § 1, eff. 12-29-1969)
(Code 1936; Code 1945; Code 1954; Code 1964; Code 1984; Ord. No. 171-D, § 1, eff. 12-25-1940; Ord. No. 259-D, § 1, eff. 6-10-1942; Ord. No. 29-E, § 1, eff. 8-2-1945; Ord. No. 41-E, § 1, eff. 10-11-1945; Ord. No. 226-E, § 1, eff. 3-25-1948; Ord. No. 227-E, § 1, eff. 4-1-1948; Ord. No. 256-E, § 1, eff. 7-22-1948; Ord. No. 289-E, § 1, eff. 12-16-1948; Ord. No. 462-E, § 1, eff. 7-27-1950; Ord. No. 511-E, § 1, eff. 11-23-1950; Ord. No. 539-E, § 1, eff. 3-22-1951; Ord. No. 719-E, § 1, eff. 3-12-1953; Ord. No. 839-E, § 1, eff. 3-11-1954; Ord. No. 869-E, § 1, eff. 6-10-1954; Ord. No. 881-E, § 1, eff. 8-5-1954; Ord. No. 30-F, § 1, eff. 6-23-1955; Ord. No. 64-F, § 1, eff. 11-10-1955; Ord. No. 122-F, § 1, eff. 6-28-1956; Ord. No. 256-F, § 1, eff. 1-16-1958; Ord. No. 873-F, § 1, eff. 7-15-1964; Ord. No. 537-G, § 1, eff. 10-22-1970; Ord. No. 344-H, § 1, eff. 11-1-1979; Ord. No. 05-89, § 1, eff. 4-21-1989; Ord. No. 29-98, § 1, eff. 10-23-1998; Ord. No. 13-99, § 1, eff. 7-21-1999; Ord. No. 14-99, § 1, eff. 7-21-1999; Ord. No. 18-00, § 1, eff. 9-8-2000; Ord. No. 20-00, § 1, eff. 9-8-2000; Ord. No. 05-04, § 1, eff. 3-9-2004; Ord. No. 03-06, § 1, eff. 3-22-2006; Ord. No. 18-07, § 1, eff. 7-9-2007; Ord. No. 21-14, § 1, eff. 7-11-2014)
(Code 1936; Code 1945; Code 1954; Code 1964; Code 1984; Ord. No. 171-D, § 1, eff. 12-25-1940; Ord. No. 238-D, § 1, eff. 1-28-1942; Ord. No. 61-E, § 1, eff. 3-14-1946; Ord. No. 78-E, § 1, eff. 5-16-1946; Ord. No. 155-E, § 1, eff. 6-12-1947; Ord. No. 203-E, § 1, eff. 11-6-1947; Ord. No. 268-E, § 1, eff. 9-2-1948; Ord. No. 276-F, § 1, eff. 3-27-1958; Ord. No. 329-F, § 1, eff. 10-2-1958; Ord. No. 1-H, § 1, eff. 8-23-1974)
(Code 1936; Code 1945; Code 1954; Code 1964; Code 1984; Ord. No. 171-D, § 1, eff. 12-25-1940; Ord. No. 209-D, § 1, eff. 8-6-1941; Ord. No. 218-D, § 1, eff. 11-6-1941; Ord. No. 352-D, § 1, eff. 10-28-1943; Ord. No. 12-E, § 1, eff. 5-17-1945; Ord. No. 69-E, § 1, eff. 4-11-1946; Ord. No. 183-E, § 1, eff. 9-17-1947; Ord. No. 376-E, § 1, eff. 11-10-1949; Ord. No. 471-E, § 1, eff. 8-16-1950; Ord. No. 547-E, § 1, eff. 4-5-1951; Ord. No. 581-E, § 1, eff. 8-16-1951; Ord. No. 614-E, § 1, eff. 2-14-1952; Ord. No. 701-E, § 1, eff. 12-12-1952; Ord. No. 166-F, § 1, eff. 11-1-1956; Ord. No. 467-F, § 1, eff. 3-31-1960; Ord. No. 489-F, § 1, eff. 6-22-1960; Ord. No. 491-F, § 1, eff. 6-30-1960; Ord. No. 526-F, § 1, eff. 10-13-1960; Ord. No. 535-F, § 1, eff. 12-1-1960; Ord. No. 568-F, § 1, eff. 4-9-1961; Ord. No. 622-F, § 1, eff. 12-6-1961; Ord. No. 647-F, § 1, eff. 1-28-1962; Ord. No. 702-F, § 1, eff. 6-27-1962; Ord. No. 759-F, § 1, eff. 1-15-1963; Ord. No. 780-F, § 1, eff. 5-8-1963; Ord. No. 809-F, § 1, eff. 10-16-1963; Ord. No. 829-F, § 1, eff. 1-8-1964; Ord. No. 73-G, § 1, eff. 5-20-1965; Ord. No. 289-G, § 1, eff. 12-14-1967; Ord. No. 348-G, § 1, eff. 8-29-1968; Ord. No. 441-G, § 1, eff. 7-23-1969; Ord. No. 557-G, § 1, eff. 1-28-1971; Ord. No. 692-G, § 1, eff. 7-6-1972; Ord. No. 725-G, § 1, eff. 9-7-1972; Ord. No. 399-H, § 1, eff. 8-31-1980; Ord. No. 403-H, § 1, eff. 10-25-1980; Ord. No. 43-88, § 1, eff. 12-2-1988; Ord. No. 19-04, § 1, eff. 7-19-2004; Ord. No. 06-07, § 1, eff. 2-28-2007; Ord. No. 05-08, § 1, eff. 3-26-2008; Ord. No. 05-11, § 1, eff. 3-29-2011; Ord. No. 30-14, § 1, eff. 9-5-2014; Ord. No. 03-17, § 1, eff. 4-18-2017; Ord. No. 2020-18, § 1, eff. 8-14-2020; Ord. No. 2022-6, § 1, eff. 3-26-2022; Ord. No. 2023-14, § 1, eff. 5-23-2023)
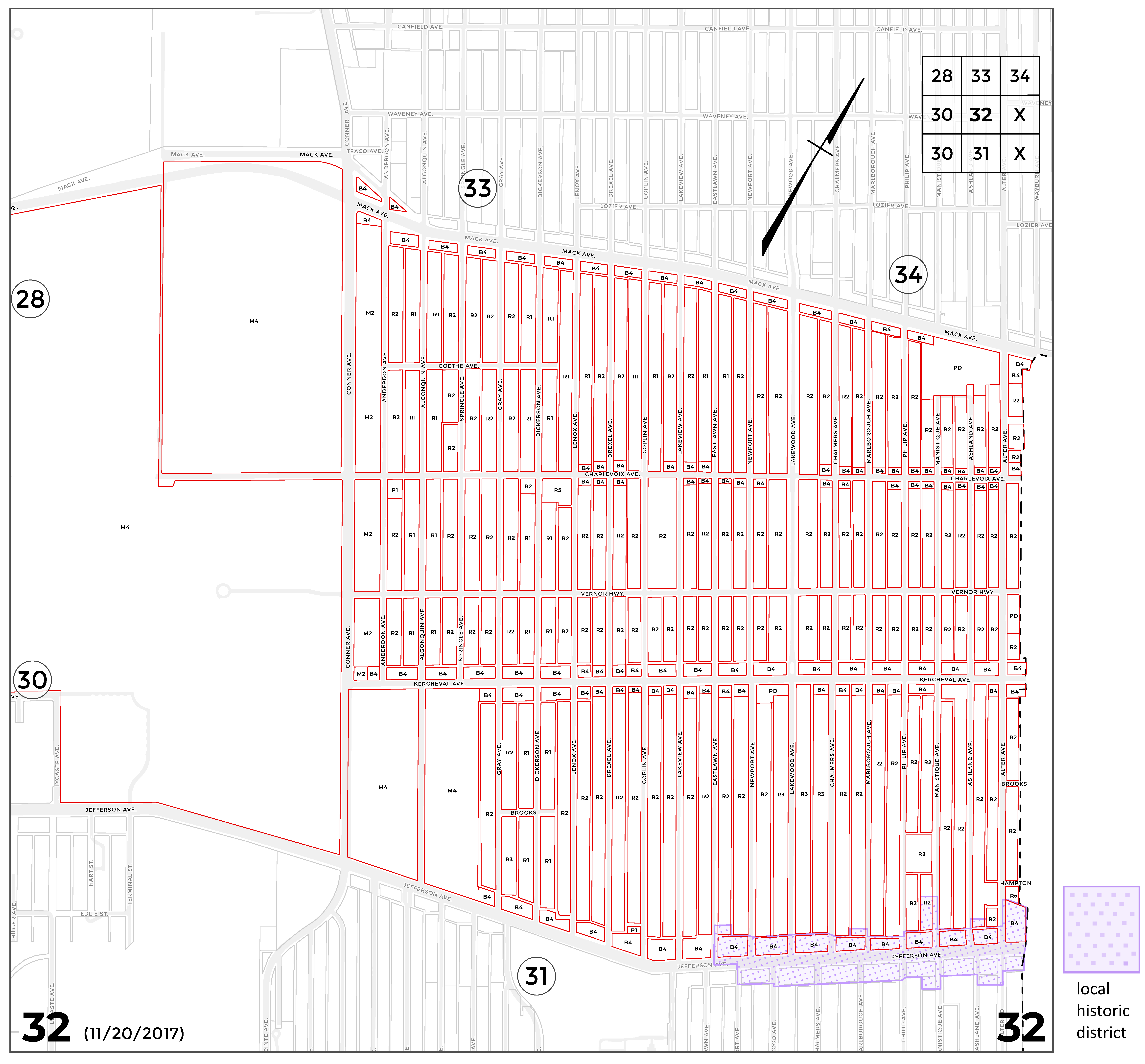
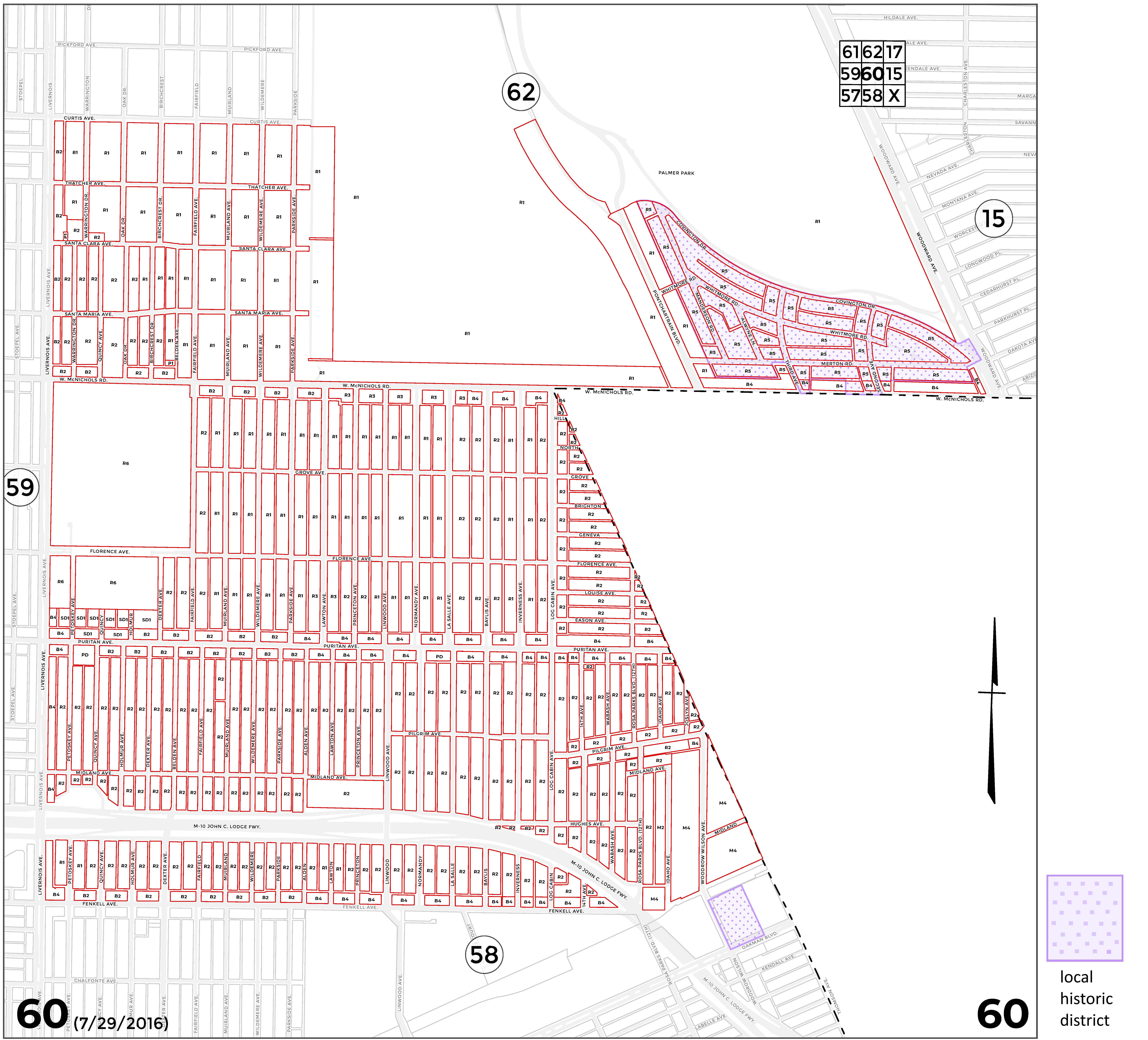
(Code 1936; Code 1945; Code 1954; Code 1964; Code 1984; Ord. No. 171-D, § 1, eff. 12-25-1940; Ord. No. 238-D, § 1, eff. 1-28-1942; Ord. No. 207-E, § 1, eff. 12-18-1947; Ord. No. 231-E, § 1, eff. 4-15-1948; Ord. No. 341-E, § 1, eff. 7-28-1949; Ord. No. 712-E, § 1, eff. 1-29-1953; Ord. No. 721-E, § 1, eff. 3-18-1953; Ord. No. 186-F, § 1, eff. 3-14-1957; Ord. No. 253-F, § 1, eff. 1-2-1958; Ord. No. 818-F, § 1, eff. 12-6-1963; Ord. No. 2-G, § 1, eff. 11-5-1964; Ord. No. 426-G, § 1, eff. 5-28-1969; Ord. No. 14-H, § 1, eff. 12-23-1974; Ord. No. 564-H, § 1, eff. 10-3-1983; Ord. No. 09-07, § 1, eff. 5-2-2007; Ord. No. 25-07, § 1, eff. 8-3-2007; Ord. No. 15-10, § 1, eff. 8-31-2010; Ord. No. 05-12, § 1, eff. 4-18-2012; Ord. No. 22-14, § 1, eff. 7-11-2014; Ord. No. 14-16, § 1, eff. 5-17-2016; Ord. No. 34-18, § 1, eff. 12-18-2018; Ord. No. 2023-38, § 1, eff. 11-28-2023)
(Code 1936; Code 1945; Code 1954; Code 1964; Code 1984; Ord. No. 171-D, § 1, eff. 12-25-1940; Ord. No. 218-D, § 1, eff. 11-6-1941; Ord. No. 108-E, § 1, eff. 10-10-1946; Ord. No. 187-E, § 1, eff. 9-4-1947; Ord. No. 153-F, § 1, eff. 9-20-1956; Ord. No. 760-F, § 1, eff. 2-14-1963; Ord. No. 125-G, § 1, eff. 11-11-1965; Ord. No. 444-H, § 1, eff. 7-5-1981; Ord. No. 589-H, § 1, eff. 8-1-1984; Ord. No. 05-90, § 1, eff. 5-11-1990; Ord. No. 14-98, § 1, eff. 7-3-1998; Ord. No. 40-03, § 1, eff. 12-3-2003; Ord. No. 14-13, § 1, eff. 5-8-2013; Ord. No. 09-17, § 1, eff. 5-20-2017; Ord. No. 2021-7, § 1, eff. 3-4-2021; Ord. No. 2021-11, § 1, eff. 4-9-2021)
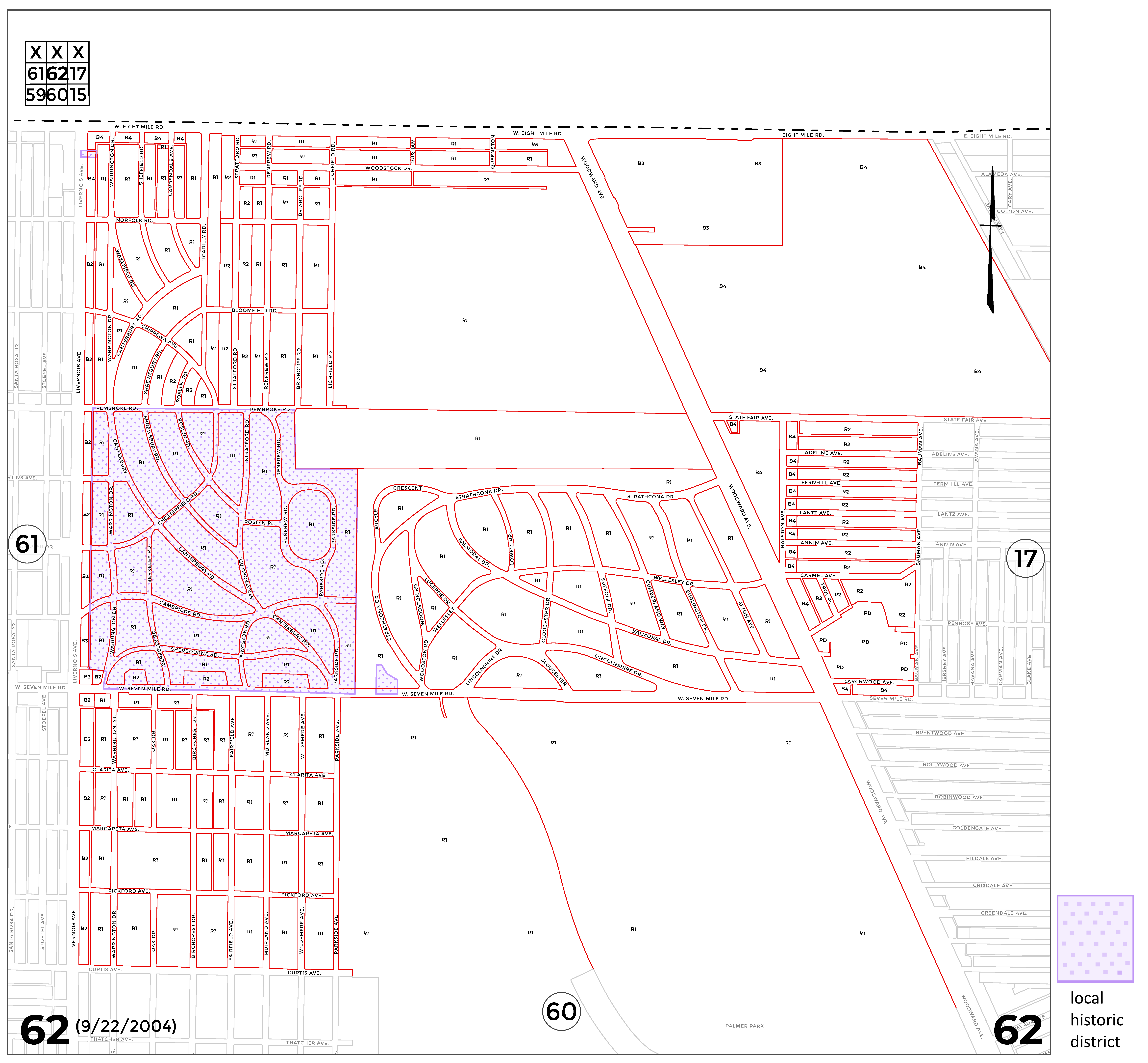
(Code 1936; Code 1945; Code 1954; Code 1964; Code 1984; Ord. No. 171-D, § 1, eff. 12-25-1940; Ord. No. 345-D, § 1, eff. 8-19-1943; Ord. No. 39-E, § 1, eff. 9-20-1945; Ord. No. 152-E, § 1, eff. 5-29-1947; Ord. No. 170-E, § 1, eff. 8-21-1947; Ord. No. 184-E, § 1, eff. 9-17-1947; Ord. No. 192-E, § 1, eff. 10-9-1947; Ord. No. 531-E, § 1, eff. 2-15-1951; Ord. No. 604-E, § 1, eff. 1-10-1952; Ord. No. 636-E, § 1, eff. 6-5-1952; Ord. No. 842-F, § 1, eff. 3-26-1964; Ord. No. 15-G, § 1, eff. 12-4-1964; Ord. No. 130-G, § 1, eff. 12-1-1965; Ord. No. 196-G, § 1, eff. 8-31-1966; Ord. No. 212-G, § 1, eff. 11-23-1966; Ord. No. 483-G, § 1, eff. 2-1-1970; Ord. No. 558-G, § 1, eff. 1-28-1971; Ord. No. 584-G, § 1, eff. 5-27-1971; Ord. No. 529-H, § 1, eff. 11-19-1982; Ord. No. 04-91, § 1, eff. 3-22-1991; Ord. No. 10-91, § 1, eff. 4-26-1991; Ord. No. 28-93, § 1, eff. 1-7-1994; Ord. No. 02-99, § 1, eff. 3-12-1999; Ord. No. 34-06, § 1, eff. 11-28-2006; Ord. No. 20-07, § 1, eff. 7-2-2007; Ord. No. 07-10, § 1, eff. 6-18-2010; Ord. No. 30-12, § 1, eff. 1-2-2013; Ord. No. 38-16, § 1, eff. 12-20-2016; Ord. No. 13-19, § 1, eff. 7-27-2019; Ord. No. 2021-7, § 1, eff. 3-4-2021)
(Code 1936; Code 1945; Code 1954; Code 1964; Code 1984; Ord. No. 171-D, § 1, eff. 12-25-1940; Ord. No. 805-E, § 1, eff. 12-10-1953; Ord. No. 59-F, § 1, eff. 10-20-1955; Ord. No. 563-F, § 1, eff. 4-13-1961; Ord. No. 572-F, § 1, eff. 6-22-1961; Ord. No. 336-G, § 1, eff. 7-25-1968; Ord. No. 612-G, § 1, eff. 9-29-1971; Ord. No. 655-G, § 1, eff. 3-8-1972; Ord. No. 899-G, § 1, eff. 6-13-1974; Ord. No. 86-H, § 1, eff. 3-26-1976; Ord. No. 14-04, § 1, eff. 4-16-2004; Ord. No. 10-11, § 1, eff. 6-14-2011; Ord. No. 04-13, § 1, eff. 3-1-2013; Ord. No. 25-14, § 1, eff. 9-4-2014; Ord. No. 28-16, § 1, eff. 8-20-2016; Ord. No. 2021-7, § 1, eff. 3-4-2021; Ord. No. 2023-34, § 1, eff. 11-22-2023)
(Code 1936; Code 1945; Code 1954; Code 1964; Code 1984; Ord. No. 171-D, § 1, eff. 12-25-1940; Ord. No. 208-E, § 1, eff. 12-25-1947; Ord. No. 524-E, § 1, eff. 1-11-1951; Ord. No. 906-E, § 1, eff. 9-30-1954; Ord. No. 117-F, § 1, eff. 5-24-1956; Ord. No. 531-F, § 1, eff. 11-3-1960; Ord. No. 624-F, § 1, eff. 12-6-1961; Ord. No. 798-F, § 1, eff. 8-1-1963; Ord. No. 183-G, § 1, eff. 7-6-1966; Ord. No. 293-G, § 1, eff. 12-14-1967; Ord. No. 336-G, § 1, eff. 7-25-1968; Ord. No. 379-G, § 1, eff. 11-13-1968; Ord. No. 595-G, § 1, eff. 7-15-1971; Ord. No. 611-G, § 1, eff. 9-2-1971; Ord. No. 734-G, § 1, eff. 11-9-1972; Ord. No. 778-G, § 1, eff. 1-11-1973; Ord. No. 900-G, § 1, eff. 6-13-1974; Ord. No. 355-H, § 1, eff. 11-26-1979; Ord. No. 409-H, § 1, eff. 12-18-1980; Ord. No. 22-87, § 1, eff. 7-10-1987; Ord. No. 08-97, § 1, eff. 3-28-1997; Ord. No. 01-99, § 1, eff. 3-5-1999; Ord. No. 03-00, § 1, eff. 3-31-2000; Ord. No. 16-10, § 1, eff. 9-2-2010; Ord. No. 14-11, § 1, eff. 8-9-2011; Ord. No. 01-16, § 1, eff. 2-2-2016; Ord. No. 08-18, § 1, 5-12-2018; Ord. No. 2021-20, § 1, eff. 9-9-2021; Ord. No. 2022-3, § 1, eff. 3-17-2022; Ord. No. 2022-4, § 1, eff. 3-18-2022; Ord. No. 2023-44, § 1, eff. 12-13-2023)
(Code 1936; Code 1945; Code 1954; Code 1964; Code 1984; Ord. No. 171-D, § 1, eff. 12-25-1940; Ord. No. 218-D, § 1, eff. 11-6-1941; Ord. No. 50-E, § 1, eff. 1-4-1946; Ord. No. 92-E, § 1, eff. 7-11-1946; Ord. No. 700-E, § 1, eff. 12-5-1952; Ord. No. 838-E, § 1, eff. 3-11-1954; Ord. No. 857-E, § 1, eff. 5-6-1954; Ord. No. 182-G, § 1, eff. 7-6-1966; Ord. No. 219-G, § 1, eff. 12-28-1966; Ord. No. 296-G, § 1, eff. 12-27-1967; Ord. No. 485-G, § 1, eff. 2-19-1970; Ord. No. 598-G, § 1, eff. 7-1-1971; Ord. No. 612-G, § 1, eff. 9-29-1971; Ord. No. 898-G, § 1, eff. 6-13-1974; Ord. No. 21-94, § 1, eff. 11-28-1994; Ord. No. 25-95, § 1, eff. 10-13-1995; Ord. No. 26-95, § 1, eff. 10-13-1995; Ord. No. 08-96, § 1, eff. 4-29-1996; Ord. No. 14-04, § 1, eff. 4-16-2004)
(Code 1936; Code 1945; Code 1954; Code 1964; Code 1984; Ord. No. 171-D, § 1, eff. 12-25-1940; Ord. No. 413-D, § 1, eff. 8-31-1944; Ord. No. 70-E, § 1, eff. 4-11-1946; Ord. No. 411-E, § 1, eff. 3-9-1950; Ord. No. 608-E, § 1, eff. 1-25-1952; Ord. No. 783-E, § 1, eff. 9-17-1953; Ord. No. 100-F, § 1, eff. 3-15-1956; Ord. No. 114-F, § 1, eff. 5-17-1956; Ord. No. 209-F, § 1, eff. 7-18-1957; Ord. No. 521-F, § 1, eff. 10-6-1960; Ord. No. 573-F, § 1, eff. 6-22-1961; Ord. No. 652-F, § 1, eff. 1-28-1962; Ord. No. 786-F, § 1, eff. 5-29-1963; Ord. No. 51-G, § 1, eff. 2-25-1965; Ord. No. 109-G, § 1, eff. 9-2-1965; Ord. No. 144-G, § 1, eff. 1-30-1966; Ord. No. 188-G, § 1, eff. 7-13-1966; Ord. No. 374-G, § 1, eff. 11-3-1968; Ord. No. 486-G, § 1, eff. 2-19-1970; Ord. No. 563-G, § 1, eff. 2-24-1971; Ord. No. 574-G, § 1, eff. 4-8-1971; Ord. No. 578-G, § 1, eff. 5-5-1971; Ord. No. 787-G, § 1, eff. 2-9-1973; Ord. No. 837-G, § 1, eff. 8-2-1973; Ord. No. 922-G, § 1, eff. 8-1-1974; Ord. No. 358-H, § 1, eff. 12-11-1979; Ord. No. 30-16, § 1, eff. 9-6-2016; Ord. No. 01-18, § 1, eff. 3-10-2018; Ord. No. 09-18, § 1, eff. 5-12-2018; Ord. No. 2023-20, § 1, eff. 5-30-2023)
(Code 1936; Code 1945; Code 1954; Code 1964; Code 1984; Ord. No. 171-D, § 1, eff. 12-25-1940; Ord. No. 191-D, § 1, eff. 5-14-1941; Ord. No. 80-E, § 1, eff. 5-16-1946; Ord. No. 333-F, § 1, eff. 10-30-1958; Ord. No. 550-G, § 1, eff. 12-9-1970; Ord. No. 763-G, § 1, eff. 12-6-1972; Ord. No. 27-02, § 1, eff. 12-19-2002)
(Code 1936; Code 1945; Code 1954; Code 1964; Code 1984; Ord. No. 171-D, § 1, eff. 12-25-1940; Ord. No. 218-D, § 1, eff. 11-6-1941; Ord. No. 837-G, § 1, eff. 8-2-1973; Ord. No. 243-H, § 1, eff. 5-25-1978; Ord. No. 04-90, § 1, eff. 3-23-1990; Ord. No. 28-95, § 1, eff. 10-23-1995; Ord. No. 10-17, § 1, eff. 6-3-2017; Ord. No. 2021-2, § 1, eff. 2-11-2021)
(Code 1936; Code 1945; Code 1954; Code 1964; Code 1984; Ord. No. 171-D, § 1, eff. 12-25-1940; Ord. No. 218-D, § 1, eff. 11-6-1941; Ord. No. 591-E, § 1, eff. 10-11-1951; Ord. No. 233-G, § 1, eff. 3-8-1967; Ord. No. 455-G, § 1, eff. 9-3-1969; Ord. No. 458-G, § 1, eff. 10-2-1969; Ord. No. 11-85, § 1, eff. 3-27-1985)
(Code 1936; Code 1945; Code 1954; Code 1964; Code 1984; Ord. No. 171-D, § 1, eff. 12-25-1940; Ord. No. 418-D, § 1, eff. 9-14-1944; Ord. No. 54-E, § 1, eff. 2-7-1946; Ord. No. 92-E, § 1, eff. 7-11-1946; Ord. No. 108-E, § 1, eff. 10-10-1946; Ord. No. 187-E, § 1, eff. 9-4-1947; Ord. No. 214-E, § 1, eff. 1-1-1948; Ord. No. 600-E, § 1, eff. 11-22-1951; Ord. No. 141-F, § 1, eff. 8-30-1956; Ord. No. 648-F, § 1, eff. 1-28-1962; Ord. No. 162-G, § 1, eff. 4-13-1966; Ord. No. 226-G, § 1, eff. 1-26-1967; Ord. No. 420-G, § 1, eff. 5-7-1969; Ord. No. 468-G, § 1, eff. 11-19-1969; Ord. No. 649-G, § 1, eff. 2-24-1972; Ord. No. 854-G, § 1, eff. 11-7-1973; Ord. No. 422-H, § 1, eff. 1-27-1981; Ord. No. 518-H, § 1, eff. 10-29-1982; Ord. No. 12-02, § 1, eff. 8-23-2002; Ord. No. 27-15, § 1, eff. 11-28-2015; Ord. No. 12-18, § 1, eff. 6-29-2018; Ord. No. 2021-11, § 1, eff. 4-9-2021)
(Code 1936; Code 1945; Code 1954; Code 1964; Code 1984; Ord. No. 171-D, § 1, eff. 12-25-1940; Ord. No. 193-E, § 1, eff. 10-9-1947; Ord. No. 475-E, § 1, eff. 8-31-1950; Ord. No. 674-E, § 1, eff. 9-4-1952; Ord. No. 833-E, § 1, eff. 2-25-1954; Ord. No. 903-E, § 1, eff. 9-30-1954; Ord. No. 297-F, § 1, eff. 7-3-1958; Ord. No. 356-F, § 1, eff. 2-22-1959; Ord. No. 583-F, § 1, eff. 7-20-1961; Ord. No. 611-F, § 1, eff. 10-26-1961; Ord. No. 146-G, § 1, eff. 2-23-1966; Ord. No. 456-G, § 1, eff. 9-10-1969; Ord. No. 729-G, § 1, eff. 10-26-1972; Ord. No. 737-G, § 1, eff. 11-11-1972; Ord. No. 221-H, § 1, eff. 1-20-1978; Ord. No. 37-16, § 1, eff. 12-20-2016; Ord. No. 2019-40, § 1, eff. 12-26-2019)
(Code 1936; Code 1945; Code 1954; Code 1964; Code 1984; Ord. No. 171-D, § 1, eff. 12-25-1940; Ord. No. 218-D, § 1, eff. 11-6-1941; Ord. No. 538-E, § 1, eff. 3-22-1951; Ord. No. 549-F, § 1, eff. 3-9-1961; Ord. No. 645-G, § 1, eff. 2-16-1972; Ord. No. 714-G, § 1, eff. 8-31-1972; Ord. No. 25-97, § 1, eff. 7-18-1997)
(Code 1936; Code 1945; Code 1954; Code 1964; Code 1984; Ord. No. 171-D, § 1, eff. 12-25-1940; Ord. No. 109-E, § 1, eff. 10-17-1946; Ord. No. 294-E, § 1, eff. 1-26-1949; Ord. No. 310-E, § 1, eff. 3-24-1949; Ord. No. 417-E, § 1, eff. 3-23-1950; Ord. No. 419-E, § 1, eff. 3-23-1950; Ord. No. 424-E, § 1, eff. 4-13-1950; Ord. No. 438-E, § 1, eff. 5-25-1950; Ord. No. 485-E, § 1, eff. 9-28-1950; Ord. No. 508-E, § 1, eff. 11-16-1950; Ord. No. 563-E, § 1, eff. 6-28-1951; Ord. No. 601-E, § 1, eff. 11-29-1951; Ord. No. 609-E, § 1, eff. 1-25-1952; Ord. No. 774-E, § 1, eff. 8-14-1953; Ord. No. 788-E, § 1, eff. 9-4-1953; Ord. No. 165-F, § 1, eff. 11-1-1956; Ord. No. 197-F, § 1, eff. 5-9-1957; Ord. No. 237-F, § 1, eff. 11-7-1957; Ord. No. 375-F, § 1, eff. 4-30-1959; Ord. No. 498-F, § 1, eff. 7-7-1960; Ord. No. 670-F, § 1, eff. 3-29-1962; Ord. No. 728-F, § 1, eff. 9-20-1962; Ord. No. 117-G, § 1, eff. 9-23-1965; Ord. No. 222-G, § 1, eff. 1-11-1967; Ord. No. 235-G, § 1, eff. 3-22-1967; Ord. No. 268-G, § 1, eff. 8-10-1967; Ord. No. 464-G, § 1, eff. 10-29-1969; Ord. No. 581-G, § 1, eff. 4-15-1971; Ord. No. 691-G, § 1, eff. 7-6-1972; Ord. No. 04-02, § 1, eff. 5-13-2002; Ord. No. 14-04, § 1, eff. 4-16-2004; Ord. No. 03-08, § 1, eff. 2-8-2008; Ord. No. 2023-13, § 1, eff. 4-21-2023)
(Code 1936; Code 1945; Code 1954; Code 1964; Code 1984; Ord. No. 171-D, § 1, eff. 12-25-1940; Ord. No. 50-E, § 1, eff. 1-4-1946; Ord. No. 181-E, § 1, eff. 9-17-1947; Ord. No. 467-E, § 1, eff. 8-4-1950; Ord. No. 619-E, § 1, eff. 2-21-1952; Ord. No. 673-E, § 1, eff. 10-2-1952; Ord. No. 42-F, § 1, eff. 8-4-1955; Ord. No. 57-F, § 1, eff. 10-13-1955; Ord. No. 101-F, § 1, eff. 3-1-1956; Ord. No. 135-F, § 1, eff. 8-9-1956; Ord. No. 377-G, § 1, eff. 11-6-1968; Ord. No. 413-G, § 1, eff. 4-9-1969; Ord. No. 12-13, § 1, eff. 5-31-2013; Ord. No. 2021-51, § 1, eff. 12-15-2021)
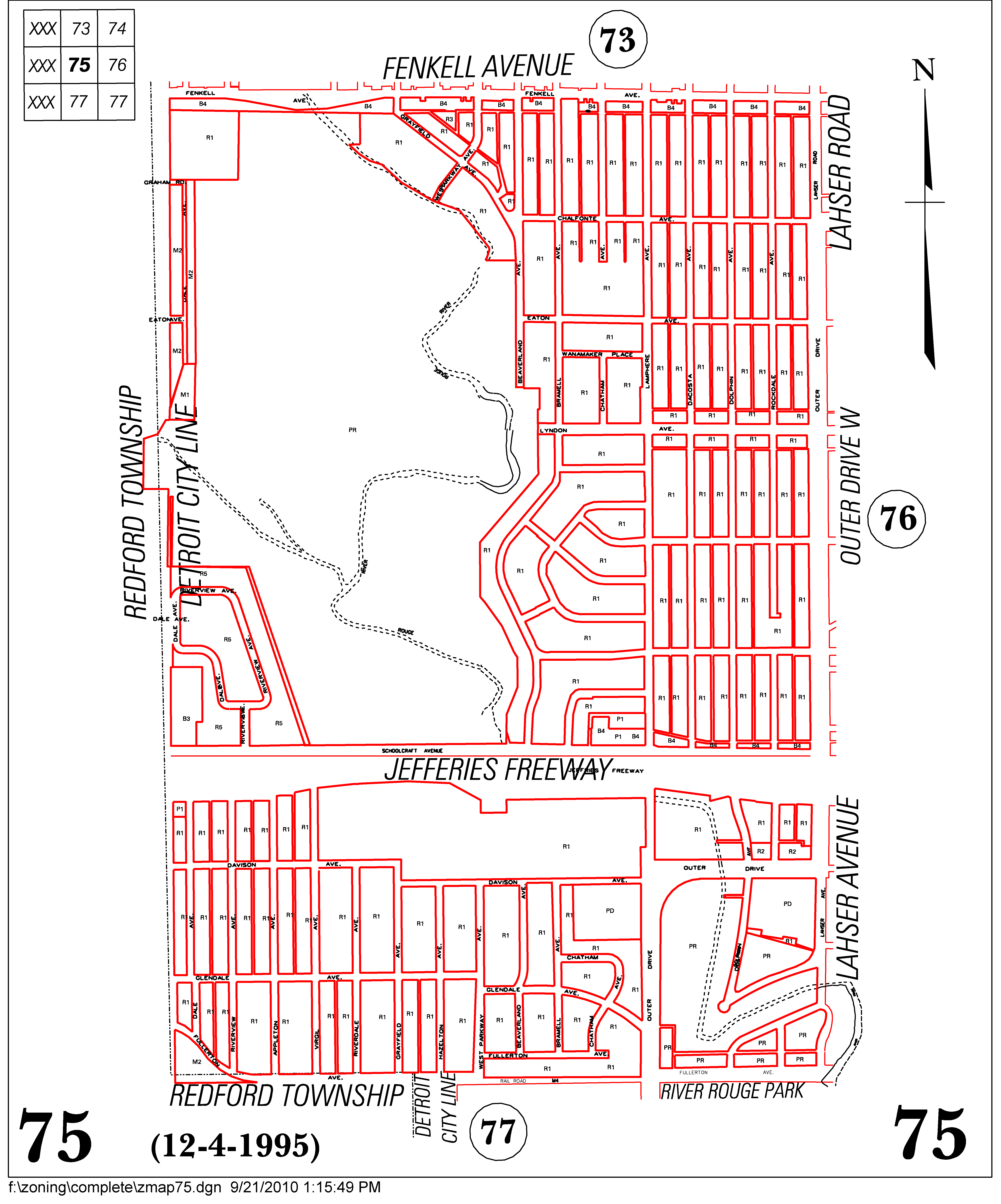
(Code 1936; Code 1945; Code 1954; Code 1964; Code 1984; Ord. No. 171-D, § 1, eff. 12-25-1940; Ord. No. 218-D, § 1, eff. 11-6-1941; Ord. No. 330-D, § 1, eff. 6-8-1943; Ord. No. 436-D, § 1, eff. 11-23-1944; Ord. No. 440-D, § 1, eff. 12-14-1944; Ord. No. 299-E, § 1, eff. 2-17-1949; Ord. No. 335-E, § 1, eff. 6-30-1949; Ord. No. 342-E, § 1, eff. 7-28-1949; Ord. No. 373-E, § 1, eff. 11-3-1949; Ord. No. 426-E, § 1, eff. 4-27-1950; Ord. No. 513-E, § 1, eff. 11-23-1950; Ord. No. 659-E, § 1, eff. 7-10-1952; Ord. No. 42-F, § 1, eff. 8-4-1955; Ord. No. 74-F, § 1, eff. 12-15-1955; Ord. No. 99-F, § 1, eff. 3-15-1956; Ord. No. 221-F, § 1, eff. 8-29-1957; Ord. No. 446-F, § 1, eff. 1-28-1960; Ord. No. 512-F, § 1, eff. 8-25-1960; Ord. No. 554-F, § 1, eff. 3-23-1961; Ord. No. 607-F, § 1, eff. 10-19-1961; Ord. No. 619-F, § 1, eff. 11-22-1961; Ord. No. 623-F, § 1, eff. 12-6-1961; Ord. No. 642-F, § 1, eff. 1-25-1962; Ord. No. 729-F, § 1, eff. 8-28-1962; Ord. No. 50-G, § 1, eff. 2-15-1965; Ord. No. 116-G, § 1, eff. 9-23-1965; Ord. No. 191-G, § 1, eff. 8-4-1966; Ord. No. 457-G, § 1, eff. 9-14-1969; Ord. No. 522-G, § 1, eff. 9-24-1970; Ord. No. 613-G, § 1, eff. 10-14-1971; Ord. No. 762-G, § 1, eff. 11-9-1972; Ord. No. 451-H, § 1, eff. 8-15-1981; Ord. No. 22-91, § 1, eff. 8-13-1991; Ord. No. 12-13, § 1, eff. 5-31-2013; Ord. No. 06-19, § 1, eff. 6-7-2019)
(Code 1936; Code 1945; Code 1954; Code 1964; Code 1984; Ord. No. 171-D, § 1, eff. 12-25-1940; Ord. No. 274-D, § 1, eff. 8-5-1942; Ord. No. 437-D, § 1, eff. 11-23-1944; Ord. No. 215-E, § 1, eff. 1-1-1948; Ord. No. 359-E, § 1, eff. 9-14-1949; Ord. No. 360-E, § 1, eff. 9-22-1949; Ord. No. 556-E, § 1, eff. 6-14-1951; Ord. No. 810-E, § 1, eff. 12-24-1953; Ord. No. 817-E, § 1, eff. 1-29-1954; Ord. No. 21-F, § 1, eff. 5-27-1955; Ord. No. 25-F, § 1, eff. 5-6-1955; Ord. No. 80-F, § 1, eff. 12-29-1955; Ord. No. 91-F, § 1, eff. 2-23-1956; Ord. No. 538-F, § 1, eff. 12-15-1960; Ord. No. 653-F, § 1, eff. 2-15-1962; Ord. No. 697-F, § 1, eff. 5-24-1962; Ord. No. 118-G, § 1, eff. 9-23-1965; Ord. No. 288-G, § 1, eff. 12-7-1967; Ord. No. 350-G, § 1, eff. 9-1-1968; Ord. No. 376-G, § 1, eff. 11-6-1968; Ord. No. 470-G, § 1, eff. 11-23-1969; Ord. No. 566-G, § 1, eff. 3-4-1971; Ord. No. 628-G, § 1, eff. 11-25-1971; Ord. No. 769-G, § 1, eff. 12-13-1972; Ord. No. 13-03, § 1, eff. 6-27-2003)
(Code 1936; Code 1945; Code 1954; Code 1964; Code 1984; Ord. No. 171-D, § 1, eff. 12-25-1940; Ord. No. 195-D, § 1, eff. 5-21-1941; Ord. No. 78-E, § 1, eff. 5-16-1946; Ord. No. 402-E, § 1, eff. 1-20-1950; Ord. No. 498-E, § 1, eff. 10-19-1950; Ord. No. 722-E, § 1, eff. 3-18-1953; Ord. No. 782-E, § 1, eff. 9-17-1953; Ord. No. 884-E, § 1, eff. 8-12-1954; Ord. No. 931-E, § 1, eff. 1-21-1955; Ord. No. 102-F, § 1, eff. 3-29-1956; Ord. No. 326-F, § 1, eff. 9-25-1958; Ord. No. 355-F, § 1, eff. 2-19-1959; Ord. No. 404-F, § 1, eff. 10-1-1959; Ord. No. 698-F, § 1, eff. 6-21-1962; Ord. No. 593-G, § 1, eff. 7-1-1971; Ord. No. 628-G, § 1, eff. 11-25-1971; Ord. No. 326-H, § 1, eff. 6-8-1979; Ord. No. 03-88, § 1, eff. 2-19-1988; Ord. No. 14-92, § 1, eff. 8-7-1992; Ord. No. 09-94, § 1, eff. 4-15-1994; Ord. No. 39-98, § 1, eff. 11-13-1998; Ord. No. 10-08, § 1, eff. 5-28-2008; Ord. No. 2021-14, § 1, eff. 4-17-2021)
(Code 1936; Code 1945; Code 1954; Code 1964; Code 1984; Ord. No. 171-D, § 1, eff. 12-25-1940; Ord. No. 228-D, § 1, eff. 12-12-1941; Ord. No. 311-E, § 1, eff. 4-7-1949; Ord. No. 357-E, § 1, eff. 9-8-1949; Ord. No. 637-E, § 1, eff. 6-5-1952; Ord. No. 924-E, § 1, eff. 12-16-1954; Ord. No. 69-F, § 1, eff. 11-16-1955; Ord. No. 72-F, § 1, eff. 12-15-1955; Ord. No. 85-F, § 1, eff. 1-26-1956; Ord. No. 137-F, § 1, eff. 8-23-1956; Ord. No. 543-F, § 1, eff. 2-2-1961; Ord. No. 620-F, § 1, eff. 11-22-1961; Ord. No. 502-G, § 1, eff. 6-11-1970; Ord. No. 566-G, § 1, eff. 3-4-1971; Ord. No. 628-G, § 1, eff. 11-25-1971; Ord. No. 11-96, § 1, eff. 6-19-1996; Ord. No. 07-15, § 1, eff. 4-15-2015; Ord. No. 11-16, § 1, eff. 5-5-2016; Ord. No. 2020-29, § 1, eff. 8-29-2020)
(Code 1936; Code 1945; Code 1954; Code 1964; Code 1984; Ord. No. 171-D, § 1, eff. 12-25-1940; Ord. No. 250-D, § 1, eff. 5-7-1942; Ord. No. 98-E, § 1, eff. 8-1-1946; Ord. No. 228-E, § 1, eff. 4-1-1948; Ord. No. 412-F, § 1, eff. 10-14-1959; Ord. No. 263-G, § 1, eff. 7-12-1967; Ord. No. 325-G, § 1, eff. 5-29-1968; Ord. No. 326-G, § 1, eff. 6-20-1968; Ord. No. 597-G, § 1, eff. 9-8-1971; Ord. No. 628-G, § 1, eff. 11-25-1971; Ord. No. 728-G, § 1, eff. 10-18-1972; Ord. No. 20-92, § 1, eff. 8-24-1992; Ord. No. 21-92, § 1, eff. 8-24-1992; Ord. No. 27-16, § 1, eff. 8-12-2016)
(Code 1936; Code 1945; Code 1954; Code 1964; Code 1984; Ord. No. 171-D, § 1, eff. 12-25-1940; Ord. No. 274-D, § 1, eff. 8-5-1942; Ord. No. 351-D, § 1, eff. 10-22-1943; Ord. No. 114-E, § 1, eff. 11-28-1946; Ord. No. 196-E, § 1, eff. 10-30-1947; Ord. No. 298-E, § 1, eff. 2-17-1949; Ord. No. 361-E, § 1, eff. 9-23-1949; Ord. No. 726-E, § 1, eff. 3-26-1953; Ord. No. 727-E, § 1, eff. 3-5-1953; Ord. No. 848-E, § 1, eff. 4-1-1954; Ord. No. 85-F, § 1, eff. 1-26-1956; Ord. No. 87-F, § 1, eff. 1-26-1956; Ord. No. 145-F, § 1, eff. 8-29-1956; Ord. No. 159-F, § 1, eff. 10-4-1956; Ord. No. 600-F, § 1, eff. 9-21-1961; Ord. No. 776-F, § 1, eff. 4-15-1963; Ord. No. 792-F, § 1, eff. 7-4-1963; Ord. No. 204-G, § 1, eff. 10-19-1966; Ord. No. 366-G, § 1, eff. 10-9-1968; Ord. No. 503-G, § 1, eff. 6-11-1970; Ord. No. 628-G, § 1, eff. 11-25-1971; Ord. No. 8-H, § 1, eff. 11-8-1974; Ord. No. 15-97, § 1, eff. 5-29-1997; Ord. No. 28-07, § 1, eff. 8-10-2007; Ord. No. 08-14, § 1, eff. 6-6-2014; Ord. No. 2023-37, § 1, eff. 11-25-2023)
(Code 1936; Code 1945; Code 1954; Code 1964; Code 1984; Ord. No. 171-D, § 1, eff. 12-25-1940; Ord. No. 327-D, § 1, eff. 5-26-1943; Ord. No. 365-D, § 1, eff. 2-24-1944; Ord. No. 2-E, § 1, eff. 3-1-1945; Ord. No. 771-E, § 1, eff. 8-6-1953; Ord. No. 289-F, § 1, eff. 6-5-1958; Ord. No. 436-F, § 1, eff. 12-3-1959; Ord. No. 16-G, § 1, eff. 12-4-1964; Ord. No. 628-G, § 1, eff. 11-25-1971; Ord. No. 27-04, § 1, eff. 8-10-2004; Ord. No. 40-04, § 1, eff. 11-29-2004)
(Code 1936; Code 1945; Code 1954; Code 1964; Code 1984; Ord. No. 171-D, § 1, eff. 12-25-1940; Ord. No. 259-D, § 1, eff. 6-10-1942; Ord. No. 387-D, § 1, eff. 7-7-1944; Ord. No. 21-E, § 1, eff. 6-7-1945; Ord. No. 306-E, § 1, eff. 3-17-1949; Ord. No. 331-E, § 1, eff. 6-16-1949; Ord. No. 338-E, § 1, eff. 7-21-1949; Ord. No. 350-E, § 1, eff. 8-17-1949; Ord. No. 432-E, § 1, eff. 5-11-1950; Ord. No. 646-E, § 1, eff. 7-3-1952; Ord. No. 109-F, § 1, eff. 5-3-1956; Ord. No. 438-F, § 1, eff. 12-31-1959; Ord. No. 548-F, § 1, eff. 3-9-1961; Ord. No. 778-F, § 1, eff. 5-2-1963; Ord. No. 65-G, § 1, eff. 4-14-1965; Ord. No. 86-G, § 1, eff. 6-27-1965; Ord. No. 167-G, § 1, eff. 5-25-1966; Ord. No. 280-G, § 1, eff. 10-19-1967; Ord. No. 590-G, § 1, eff. 6-23-1971; Ord. No. 628-G, § 1, eff. 11-25-1971; Ord. No. 30-07, § 1, eff. 10-24-2007; Ord. No. 21-19, § 1, eff. 8-6-2019; Ord. No. 2020-41, § 1, eff. 12-10-2020)
(Code 1936; Code 1945; Code 1954; Code 1964; Code 1984; Ord. No. 171-D, § 1, eff. 12-25-1940; Ord. No. 192-D, § 1, eff. 5-14-1941; Ord. No. 303-D, § 1, eff. 3-3-1943; Ord. No. 165-E, § 1, eff. 8-14-1947; Ord. No. 232-E, § 1, eff. 4-21-1948; Ord. No. 253-E, § 1, eff. 7-15-1948; Ord. No. 260-E, § 1, eff. 8-19-1948; Ord. No. 331-E, § 1, eff. 6-16-1949; Ord. No. 383-E, § 1, eff. 11-17-1949; Ord. No. 533-E, § 1, eff. 2-15-1951; Ord. No. 797-E, § 1, eff. 10-8-1953; Ord. No. 808-E, § 1, eff. 12-24-1953; Ord. No. 52-F, § 1, eff. 9-1-1955; Ord. No. 259-F, § 1, eff. 1-17-1958; Ord. No. 438-F, § 1, eff. 12-31-1959; Ord. No. 468-F, § 1, eff. 4-14-1960; Ord. No. 483-F, § 1, eff. 6-2-1960; Ord. No. 486-F, § 1, eff. 6-9-1960; Ord. No. 604-F, § 1, eff. 10-5-1961; Ord. No. 621-F, § 1, eff. 11-30-1961; Ord. No. 646-F, § 1, eff. 1-28-1962; Ord. No. 692-F, § 1, eff. 5-17-1962; Ord. No. 766-F, § 1, eff. 3-6-1963; Ord. No. 64-G, § 1, eff. 4-14-1965; Ord. No. 269-G, § 1, eff. 8-10-1967; Ord. No. 347-G, § 1, eff. 8-29-1968; Ord. No. 504-G, § 1, eff. 6-11-1970; Ord. No. 628-G, § 1, eff. 11-25-1971; Ord. No. 727-G, § 1, eff. 10-11-1972; Ord. No. 8-H, § 1, eff. 11-8-1974; Ord. No. 70-H, § 1, eff. 11-14-1975; Ord. No. 566-H, § 1, eff. 11-10-1983; Ord. No. 11-09, § 1, eff. 8-14-2009; Ord. No. 31-13, § 1, eff. 12-21-2013; Ord. No. 19-15, § 1, eff. 10-7-2015)
(Code 1936; Code 1945; Code 1954; Code 1964; Code 1984; Ord. No. 171-D, § 1, eff. 12-25-1940; Ord. No. 221-D, § 1, eff. 11-20-1941; Ord. No. 259-D, § 1, eff. 6-10-1942; Ord. No. 273-D, § 1, eff. 7-29-1942; Ord. No. 367-D, § 1, eff. 3-9-1944; Ord. No. 32-E, § 1, eff. 8-16-1945; Ord. No. 233-E, § 1, eff. 4-21-1948; Ord. No. 346-E, § 1, eff. 8-11-1949; Ord. No. 362-E, § 1, eff. 9-30-1949; Ord. No. 918-E, § 1, eff. 11-25-1954; Ord. No. 70-F, § 1, eff. 11-24-1955; Ord. No. 115-F, § 1, eff. 5-17-1956; Ord. No. 132-F, § 1, eff. 8-2-1956; Ord. No. 230-F, § 1, eff. 10-3-1957; Ord. No. 377-F, § 1, eff. 4-30-1959; Ord. No. 845-F, § 1, eff. 4-9-1964; Ord. No. 628-G, § 1, eff. 11-25-1971; Ord. No. 652-G, § 1, eff. 3-2-1972; Ord. No. 113-H, § 1, eff. 6-11-1976; Ord. No. 149-H, § 1, eff. 10-31-1976; Ord. No. 274-H, § 1, eff. 9-6-1978; Ord. No. 456-H, § 1, eff. 7-21-1981; Ord. No. 04-94, § 1, eff. 2-4-1994; Ord. No. 02-95, § 1, eff. 2-17-1995; Ord. No. 40-98, § 1, eff. 12-3-1998; Ord. No. 30-03, § 1, eff. 8-20-2003; Ord. No. 29-06, § 1, eff. 9-26-2006; Ord. No. 06-16, § 1, eff. 4-20-2016; Ord. No. 15-16, § 1, eff. 5-18-2016)
(Code 1936; Code 1945; Code 1954; Code 1964; Code 1984; Ord. No. 171-D, § 1, eff. 12-25-1940; Ord. No. 202-D, § 1, eff. 7-16-1941; Ord. No. 203-D, § 1, eff. 7-16-1941; Ord. No. 259-D, § 1, eff. 6-10-1942; Ord. No. 273-D, § 1, eff. 7-29-1942; Ord. No. 277-D, § 1, eff. 8-19-1942; Ord. No. 363-D, § 1, eff. 1-27-1944; Ord. No. 429-D, § 1, eff. 10-12-1944; Ord. No. 436-D, § 1, eff. 11-23-1944; Ord. No. 47-E, § 1, eff. 12-28-1945; Ord. No. 61-E, § 1, eff. 3-14-1946; Ord. No. 109-E, § 1, eff. 10-17-1946; Ord. No. 346-E, § 1, eff. 8-11-1949; Ord. No. 362-E, § 1, eff. 9-30-1949; Ord. No. 610-E, § 1, eff. 1-25-1952; Ord. No. 637-E, § 1, eff. 6-5-1952; Ord. No. 702-E, § 1, eff. 12-12-1952; Ord. No. 68-F, § 1, eff. 11-16-1955; Ord. No. 149-F, § 1, eff. 9-6-1956; Ord. No. 283-F, § 1, eff. 5-1-1958; Ord. No. 363-F, § 1, eff. 3-15-1959; Ord. No. 391-F, § 1, eff. 7-16-1959; Ord. No. 392-F, § 1, eff. 7-16-1959; Ord. No. 398-F, § 1, eff. 8-6-1959; Ord. No. 423-F, § 1, eff. 11-12-1959; Ord. No. 506-F, § 1, eff. 7-28-1960; Ord. No. 716-F, § 1, eff. 8-23-1962; Ord. No. 750-F, § 1, eff. 12-26-1962; Ord. No. 378-G, § 1, eff. 11-13-1968; Ord. No. 505-G, § 1, eff. 6-11-1970; Ord. No. 628-G, § 1, eff. 11-25-1971; Ord. No. 433-H, § 1, eff. 4-17-1981; Ord. No. 13-95, § 1, eff. 7-3-1995; Ord. No. 35-95, § 1, eff. 11-29-1995; Ord. No. 11-16, § 1, eff. 5-5-2016)
(Code 1936; Code 1945; Code 1954; Code 1964; Code 1984; Ord. No. 171-D, § 1, eff. 12-25-1940; Ord. No. 218-D, § 1, eff. 11-6-1941; Ord. No. 249-D, § 1, eff. 5-7-1942; Ord. No. 273-D, § 1, eff. 7-29-1942; Ord. No. 26-E, § 1, eff. 7-19-1945; Ord. No. 92-E, § 1, eff. 7-11-1946; Ord. No. 151-E, § 1, eff. 5-29-1947; Ord. No. 197-E, § 1, eff. 10-30-1947; Ord. No. 337-E, § 1, eff. 7-14-1949; Ord. No. 355-E, § 1, eff. 8-25-1949; Ord. No. 372-E, § 1, eff. 11-3-1949; Ord. No. 598-E, § 1, eff. 11-1-1951; Ord. No. 802-E, § 1, eff. 11-26-1953; Ord. No. 880-E, § 1, eff. 7-29-1954; Ord. No. 294-F, § 1, eff. 5-30-1958; Ord. No. 441-F, § 1, eff. 1-15-1960; Ord. No. 777-F, § 1, eff. 4-25-1963; Ord. No. 156-G, § 1, eff. 3-30-1966; Ord. No. 216-G, § 1, eff. 12-14-1966; Ord. No. 315-G, § 1, eff. 3-27-1968; Ord. No. 322-G, § 1, eff. 5-8-1968; Ord. No. 607-G, § 1, eff. 9-16-1971; Ord. No. 628-G, § 1, eff. 11-25-1971; Ord. No. 113-H, § 1, eff. 6-11-1976; Ord. No. 06-90, § 1, eff. 6-15-1990; Ord. No. 12-10, § 1, eff. 8-17-2010; Ord. No. 13-10, § 1, eff. 8-17-2010)
(Code 1936; Code 1945; Code 1954; Code 1964; Code 1984; Ord. No. 171-D, § 1, eff. 12-25-1940; Ord. No. 218-D, § 1, eff. 11-6-1941; Ord. No. 273-D, § 1, eff. 7-29-1942; Ord. No. 70-E, § 1, eff. 4-11-1946; Ord. No. 79-E, § 1, eff. 5-16-1946; Ord. No. 151-E, § 1, eff. 5-29-1947; Ord. No. 152-E, § 1, eff. 5-29-1947; Ord. No. 169-E, § 1, eff. 8-21-1947; Ord. No. 355-E, § 1, eff. 8-25-1949; Ord. No. 472-E, § 1, eff. 8-16-1950; Ord. No. 487-E, § 1, eff. 9-7-1950; Ord. No. 657-E, § 1, eff. 7-24-1952; Ord. No. 880-E, § 1, eff. 7-29-1954; Ord. No. 92-F, § 1, eff. 2-23-1956; Ord. No. 312-F, § 1, eff. 7-31-1958; Ord. No. 349-G, § 1, eff. 9-1-1968; Ord. No. 614-G, § 1, eff. 10-14-1971; Ord. No. 628-G, § 1, eff. 11-25-1971; Ord. No. 533-H, § 1, eff. 12-21-1982; Ord. No. 20-95, § 1, eff. 8-11-1995; Ord. No. 2023-30, § 1, eff. 10-4-2023)
(Code 1936; Code 1945; Code 1954; Code 1964; Code 1984; Ord. No. 171-D, § 1, eff. 12-25-1940; Ord. No. 49-E, § 1, eff. 12-28-1945; Ord. No. 156-E, § 1, eff. 6-12-1947; Ord. No. 161-E, § 1, eff. 6-26-1947; Ord. No. 224-E, § 1, eff. 2-4-1948; Ord. No. 246-E, § 1, eff. 7-1-1948; Ord. No. 296-E, § 1, eff. 2-10-1949; Ord. No. 332-E, § 1, eff. 6-23-1949; Ord. No. 358-E, § 1, eff. 9-8-1949; Ord. No. 368-E, § 1, eff. 10-27-1949; Ord. No. 371-E, § 1, eff. 11-3-1949; Ord. No. 395-E, § 1, eff. 12-22-1949; Ord. No. 414-E, § 1, eff. 3-16-1950; Ord. No. 456-E, § 1, eff. 7-6-1950; Ord. No. 236-F, § 1, eff. 11-7-1957; Ord. No. 382-F, § 1, eff. 4-30-1959; Ord. No. 388-F, § 1, eff. 7-2-1959; Ord. No. 413-F, § 1, eff. 10-8-1959; Ord. No. 680-F, § 1, eff. 4-26-1962; Ord. No. 175-G, § 1, eff. 6-30-1966; Ord. No. 194-G, § 1, eff. 8-17-1966; Ord. No. 228-G, § 1, eff. 1-26-1967; Ord. No. 266-G, § 1, eff. 7-7-1967; Ord. No. 282-G, § 1, eff. 11-2-1967; Ord. No. 308-G, § 1, eff. 1-4-1968; Ord. No. 310-G, § 1, eff. 2-14-1968; Ord. No. 324-G, § 1, eff. 5-8-1968; Ord. No. 404-G, § 1, eff. 3-19-1969; Ord. No. 677-G, § 1, eff. 5-10-1972; Ord. No. 10-98, § 1, eff. 4-17-1998; Ord. No. 12-16, § 1, eff. 5-14-2016)
(Code 1936; Code 1945; Code 1954; Code 1964; Code 1984; Ord. No. 171-D, § 1, eff. 12-25-1940; Ord. No. 238-D, § 1, eff. 1-28-1942; Ord. No. 50-E, § 1, eff. 1-4-1946; Ord. No. 107-E, § 1, eff. 10-3-1946; Ord. No. 109-E, § 1, eff. 10-17-1946; Ord. No. 126-E, § 1, eff. 1-2-1947; Ord. No. 155-E, § 1, eff. 6-12-1947; Ord. No. 162-E, § 1, eff. 6-26-1947; Ord. No. 198-E, § 1, eff. 10-30-1947; Ord. No. 210-E, § 1, eff. 12-25-1947; Ord. No. 217-E, § 1, eff. 1-15-1948; Ord. No. 218-E, § 1, eff. 1-15-1948; Ord. No. 261-E, § 1, eff. 8-19-1948; Ord. No. 645-E, § 1, eff. 7-3-1952; Ord. No. 683-E, § 1, eff. 10-31-1952; Ord. No. 687-E, § 1, eff. 11-27-1952; Ord. No. 688-E, § 1, eff. 11-27-1952; Ord. No. 196-F, § 1, eff. 5-2-1957; Ord. No. 318-F, § 1, eff. 9-4-1958; Ord. No. 516-F, § 1, eff. 9-8-1960; Ord. No. 542-F, § 1, eff. 2-2-1961; Ord. No. 582-F, § 1, eff. 7-13-1961; Ord. No. 672-F, § 1, eff. 3-29-1962; Ord. No. 170-G, § 1, eff. 5-5-1966; Ord. No. 223-G, § 1, eff. 1-11-1967; Ord. No. 295-G, § 1, eff. 12-21-1967; Ord. No. 151-H, § 1, eff. 10-24-1976; Ord. No. 37-97, § 1, eff. 10-31-1997; Ord. No. 12-13, § 1, eff. 5-31-2013; Ord. No. 06-14, § 1, eff. 5-6-2014; Ord. No. 10-16, § 1, eff. 5-5-2016; Ord. No. 43-16, § 1, eff. 3-3-2017; Ord. No. 2024-2, § 1, eff. 2-1-2024)
(Code 1936; Code 1945; Code 1954; Code 1964; Code 1984; Ord. No. 171-D, § 1, eff. 12-25-1940; Ord. No. 46-E, § 1, eff. 12-6-1945; Ord. No. 276-E, § 1, eff. 9-23-1948; Ord. No. 620-E, § 1, eff. 3-20-1952; Ord. No. 705-E, § 1, eff. 12-25-1952; Ord. No. 834-E, § 1, eff. 2-25-1954; Ord. No. 866-E, § 1, eff. 6-3-1954; Ord. No. 37-F, § 1, eff. 6-30-1955; Ord. No. 98-F, § 1, eff. 3-8-1956; Ord. No. 158-F, § 1, eff. 10-4-1956; Ord. No. 231-F, § 1, eff. 10-3-1957; Ord. No. 240-F, § 1, eff. 11-14-1957; Ord. No. 257-F, § 1, eff. 1-16-1958; Ord. No. 260-F, § 1, eff. 12-25-1957; Ord. No. 261-F, § 1, eff. 12-25-1957; Ord. No. 282-F, § 1, eff. 5-1-1958; Ord. No. 405-F, § 1, eff. 10-1-1959; Ord. No. 539-F, § 1, eff. 12-15-1960; Ord. No. 613-F, § 1, eff. 11-9-1961; Ord. No. 633-F, § 1, eff. 1-11-1962; Ord. No. 657-F, § 1, eff. 3-1-1962; Ord. No. 704-F, § 1, eff. 6-27-1962; Ord. No. 705-F, § 1, eff. 6-27-1962; Ord. No. 727-F, § 1, eff. 9-20-1962; Ord. No. 738-F, § 1, eff. 11-7-1962; Ord. No. 762-F, § 1, eff. 1-22-1963; Ord. No. 764-F, § 1, eff. 2-27-1963; Ord. No. 795-F, § 1, eff. 7-14-1963; Ord. No. 810-F, § 1, eff. 10-16-1963; Ord. No. 836-F, § 1, eff. 2-19-1964; Ord. No. 3-G, § 1, eff. 11-5-1964; Ord. No. 115-G, § 1, eff. 9-16-1965; Ord. No. 137-G, § 1, eff. 12-30-1965; Ord. No. 155-G, § 1, eff. 3-30-1966; Ord. No. 193-G, § 1, eff. 8-17-1966; Ord. No. 344-G, § 1, eff. 8-21-1968; Ord. No. 478-G, § 1, eff. 1-14-1970; Ord. No. 490-G, § 1, eff. 3-8-1970; Ord. No. 509-G, § 1, eff. 6-21-1970; Ord. No. 560-G, § 1, eff. 2-11-1971; Ord. No. 656-G, § 1, eff. 3-15-1972; Ord. No. 08-89, § 1, eff. 5-5-1989; Ord. No. 27-90, § 1, eff. 12-14-1990; Ord. No. 05-93, § 1, eff. 3-12-1993; Ord. No. 20-96, § 1, eff. 8-23-1996; Ord. No. 43-97, § 1, 12-19-1997; Ord. No. 27-98, § 1, eff. 10-5-1998; Ord. No. 21-99, § 1, eff. 8-3-1999; Ord. No. 27-99, § 1, eff. 8-13-1999; Ord. No. 27-00, § 1, eff. 12-31-2000; Ord. No. 44-04, § 1, eff. 1-24-2005; Ord. No. 08-07, § 1, eff. 4-17-2007; Ord. No. 07-09, § 1, eff. 7-15-2009; Ord. No. 32-15, § 1, eff. 1-28-2016)
(Code 1936; Code 1945; Code 1954; Code 1964; Code 1984; Ord. No. 171-D, § 1, eff. 12-25-1940; Ord. No. 250-D, § 1, eff. 5-7-1942; Ord. No. 166-E, § 1, eff. 8-14-1947; Ord. No. 219-E, § 1, eff. 1-23-1948; Ord. No. 220-E, § 1, eff. 1-23-1948; Ord. No. 222-E, § 1, eff. 1-29-1948; Ord. No. 283-E, § 1, eff. 10-28-1948; Ord. No. 364-E, § 1, eff. 10-13-1949; Ord. No. 384-E, § 1, eff. 11-17-1949; Ord. No. 408-E, § 1, eff. 2-23-1950; Ord. No. 422-E, § 1, eff. 3-30-1950; Ord. No. 480-E, § 1, eff. 9-14-1950; Ord. No. 570-E, § 1, eff. 7-19-1951; Ord. No. 666-E, § 1, eff. 8-28-1952; Ord. No. 737-E, § 1, eff. 5-14-1953; Ord. No. 816-E, § 1, eff. 1-21-1954; Ord. No. 845-E, § 1, eff. 3-25-1954; Ord. No. 846-E, § 1, eff. 3-25-1954; Ord. No. 905-E, § 1, eff. 9-30-1954; Ord. No. 917-E, § 1, eff. 10-28-1954; Ord. No. 108-F, § 1, eff. 4-19-1956; Ord. No. 125-F, § 1, eff. 6-14-1956; Ord. No. 138-F, § 1, eff. 8-23-1956; Ord. No. 139-F, § 1, eff. 7-27-1956; Ord. No. 414-F, § 1, eff. 11-19-1959; Ord. No. 678-F, § 1, eff. 4-5-1962; Ord. No. 684-F, § 1, eff. 4-29-1962; Ord. No. 9-G, § 1, eff. 11-11-1964; Ord. No. 250-G, § 1, eff. 4-28-1967; Ord. No. 675-G, § 1, eff. 5-4-1972; Ord. No. 419-H, § 1, eff. 12-26-1980; Ord. No. 06-95, § 1, eff. 5-1-1995; Ord. No. 02-98, § 1, eff. 2-13-1998)
(Code 1936; Code 1945; Code 1954; Code 1964; Code 1984; Ord. No. 171-D, § 1, eff. 12-25-1940; Ord. No. 94-E, § 1, eff. 7-25-1946; Ord. No. 140-E, § 1, eff. 4-17-1947; Ord. No. 281-E, § 1, eff. 10-7-1948; Ord. No. 391-E, § 1, eff. 12-29-1949; Ord. No. 486-E, § 1, eff. 9-28-1950; Ord. No. 622-E, § 1, eff. 4-10-1952; Ord. No. 46-F, § 1, eff. 8-11-1955; Ord. No. 150-F, § 1, eff. 8-16-1956; Ord. No. 184-F, § 1, eff. 3-7-1957; Ord. No. 376-F, § 1, eff. 4-30-1959; Ord. No. 437-F, § 1, eff. 12-31-1959; Ord. No. 465-F, § 1, eff. 3-17-1960; Ord. No. 685-F, § 1, eff. 4-29-1962; Ord. No. 781-F, § 1, eff. 5-8-1963; Ord. No. 52-G, § 1, eff. 2-25-1965; Ord. No. 122-G, § 1, eff. 10-14-1965; Ord. No. 145-G, § 1, eff. 2-23-1966; Ord. No. 331-G, § 1, eff. 7-11-1968; Ord. No. 596-G, § 1, eff. 7-15-1971; Ord. No. 122-H, § 1, eff. 7-10-1976; Ord. No. 331-H, § 1, eff. 7-13-1979; Ord. No. 370-H, § 1, eff. 3-12-1980; Ord. No. 461-H, § 1, eff. 9-16-1981; Ord. No. 10-90, § 1, eff. 7-27-1990; Ord. No. 29-00, § 1, eff. 12-8-2000; Ord. No. 29-07, § 1, eff. 10-24-2007; Ord. No. 03-19, § 1, eff. 5-22-2019; Ord. No. 2022-2, § 1, eff. 3-11-2022)
(Code 1936; Code 1945; Code 1954; Code 1964; Code 1984; Ord. No. 171-D, § 1, eff. 12-25-1940; Ord. No. 367-D, § 1, eff. 3-9-1944; Ord. No. 54-E, § 1, eff. 2-7-1946; Ord. No. 182-E, § 1, eff. 8-20-1947; Ord. No. 199-E, § 1, eff. 10-30-1947; Ord. No. 286-E, § 1, eff. 11-4-1948; Ord. No. 377-E, § 1, eff. 11-10-1949; Ord. No. 395-E, § 1, eff. 12-22-1949; Ord. No. 499-E, § 1, eff. 10-19-1950; Ord. No. 595-E, § 1, eff. 10-25-1951; Ord. No. 644-E, § 1, eff. 7-3-1952; Ord. No. 680-E, § 1, eff. 10-23-1952; Ord. No. 185-F, § 1, eff. 3-7-1957; Ord. No. 187-F, § 1, eff. 3-14-1957; Ord. No. 788-F, § 1, eff. 6-13-1963; Ord. No. 820-F, § 1, eff. 12-18-1963; Ord. No. 12-G, § 1, eff. 11-19-1964; Ord. No. 131-G, § 1, eff. 12-8-1965; Ord. No. 284-G, § 1, eff. 11-12-1967; Ord. No. 567-G, § 1, eff. 3-11-1971; Ord. No. 635-G, § 1, eff. 1-13-1972; Ord. No. 660-G, § 1, eff. 3-30-1972; Ord. No. 700-G, § 1, eff. 6-29-1972; Ord. No. 19-00, § 1, eff. 9-8-2000; Ord. No. 33-11, § 1, eff. 12-22-2011; Ord. No. 14-18, § 1, eff. 7-13-2018; Ord. No. 2022-1, § 1, eff. 3-11-2022)
(Code 1936; Code 1945; Code 1954; Code 1964; Code 1984; Ord. No. 171-D, § 1, eff. 12-25-1940; Ord. No. 274-D, § 1, eff. 8-5-1942; Ord. No. 200-E, § 1, eff. 10-30-1947; Ord. No. 201-E, § 1, eff. 10-30-1947; Ord. No. 209-E, § 1, eff. 12-25-1947; Ord. No. 234-E, § 1, eff. 4-21-1948; Ord. No. 254-E, § 1, eff. 7-15-1948; Ord. No. 543-E, § 1, eff. 3-29-1951; Ord. No. 807-E, § 1, eff. 12-17-1953; Ord. No. 868-E, § 1, eff. 6-3-1954; Ord. No. 24-F, § 1, eff. 5-6-1955; Ord. No. 43-F, § 1, eff. 8-4-1955; Ord. No. 816-F, § 1, eff. 12-5-1963; Ord. No. 172-G, § 1, eff. 6-10-1966; Ord. No. 525-G, § 1, eff. 9-30-1970; Ord. No. 371-H, § 1, eff. 3-12-1980; Ord. No. 372-H, § 1, eff. 3-12-1980; Ord. No. 02-96, § 1, eff. 3-4-1996)
(Code 1936; Code 1945; Code 1954; Code 1964; Code 1984; Ord. No. 171-D, § 1, eff. 12-25-1940; Ord. No. 107-E, § 1, eff. 10-3-1946; Ord. No. 847-E, § 1, eff. 4-1-1954; Ord. No. 124-G, § 1, eff. 11-6-1965; Ord. No. 294-G, § 1, eff. 12-21-1967; Ord. No. 74-H, § 1, eff. 1-11-1976; Ord. No. 371-H, § 1, eff. 3-12-1980)
(Code 1936; Code 1945; Code 1954; Code 1964; Code 1984; Ord. No. 171-D, § 1, eff. 12-25-1940; Ord. No. 282-D, § 1, eff. 9-30-1942; Ord. No. 344-D, § 1, eff. 8-11-1943; Ord. No. 6-E, § 1, eff. 3-29-1945; Ord. No. 378-E, § 1, eff. 11-10-1949; Ord. No. 512-E, § 1, eff. 11-23-1950; Ord. No. 590-E, § 1, eff. 10-4-1951; Ord. No. 707-E, § 1, eff. 1-8-1953; Ord. No. 724-E, § 1, eff. 3-18-1953; Ord. No. 651-F, § 1, eff. 1-28-1962; Ord. No. 751-F, § 1, eff. 12-26-1962; Ord. No. 350-G, § 1, eff. 9-1-1968; Ord. No. 159-H, § 1, eff. 11-17-1976; Ord. No. 189-H, § 1, eff. 7-6-1977; Ord. No. 375-H, § 1, eff. 3-12-1980; Ord. No. 443-H, § 1, eff. 5-25-1981; Ord. No. 448-H, § 1, eff. 7-6-1981; Ord. No. 484-H, § 1, eff. 2-26-1982; Ord. No. 546-H, § 1, eff. 3-4-1983; Ord. No. 30-97, § 1, eff. 8-12-1997; Ord. No. 03-01, § 1, eff. 3-26-2001; Ord. No. 18-10, § 1, eff. 10-27-2010; Ord. No. 23-19, § 1, eff. 8-9-2019)
(Code 1936; Code 1945; Code 1954; Code 1964; Code 1984; Ord. No. 171-D, § 1, eff. 12-25-1940; Ord. No. 558-E, § 1, eff. 6-21-1951; Ord. No. 55-G, § 1, eff. 3-17-1965; Ord. No. 312-G, § 1, eff. 2-28-1968; Ord. No. 472-G, § 1, eff. 12-10-1969; Ord. No. 777-G, § 1, eff. 2-1-1973; Ord. No. 159-H, § 1, eff. 11-17-1976; Ord. No. 189-H, § 1, eff. 7-6-1977; Ord. No. 375-H, § 1, eff. 3-12-1980; Ord. No. 2023-2, § 1, eff. 2-4-2023)
ZONING DISTRICT MAPS
In accordance with the Zoning Enabling Act of Michigan, Public Act 207 of 1921, as amended by Public Act 306 of 1941, on December 25, 1940, the City of Detroit enacted a zoning ordinance, which included 79 zoning district maps. This article contains Zoning District Maps Nos. 1 through 78, whose boundaries were established on, and remain unaltered since, December 25, 1940. Each map depicts current zoning classifications. The history notes, which follow each map, delineate the ordinances that established and amended each map.
(Code 1984, § 61-17-1; Ord. No. 11-05, § 1(61-17-1), eff. 5-28-2005; Ord. No. 19-05, § 1(61-17-1), eff. 5-28-2005; Ord. No. 34-05, § 1(61-17-1), eff. 12-6-2005; Ord. No. 24-08, § 1(61-17-1), eff. 11-1-2008)
INDEX MAP FOR CITY OF DETROIT ZONING DISTRICTS
(Code 1936; Code 1945; Code 1954; Code 1964; Code 1984; Ord. No. 171-D, § 1, eff. 12-25-1940; Ord. No. 50-E, § 1, eff. 1-4-1946; Ord. No. 55-E, § 1, eff. 2-21-1946; Ord. No. 148-E, § 1, eff. 5-15-1947; Ord. No. 228-E, § 1, eff. 4-1-1948; Ord. No. 559-E, § 1, eff. 6-21-1951; Ord. No. 711-E, § 1, eff. 1-29-1953; Ord. No. 789-E, § 1, eff. 9-10-1953; Ord. No. 112-F, § 1, eff. 4-12-1956; Ord. No. 365-F, § 1, eff. 2-20-1959; Ord. No. 406-F, § 1, eff. 9-4-1959; Ord. No. 477-F, § 1, eff. 5-26-1960; Ord. No. 517-F, § 1, eff. 9-8-1960; Ord. No. 609-F, § 1, eff. 10-19-1961; Ord. No. 641-F, § 1, eff. 1-25-1962; Ord. No. 832-F, § 1, eff. 1-30-1964; Ord. No. 890-F, § 1, eff. 10-1-1964; Ord. No. 220-G, § 1, eff. 1-4-1967; Ord. No. 227-G, § 1, eff. 1-26-1967; Ord. No. 372-G, § 1, eff. 10-30-1968; Ord. No. 394-G, § 1, eff. 1-1-1969; Ord. No. 419-G, § 1, eff. 5-7-1969; Ord. No. 453-G, § 1, eff. 8-10-1969; Ord. No. 673-G, § 1, eff. 4-26-1972; Ord. No. 152-H, § 1, eff. 11-10-1976; Ord. No. 596-H, § 1, eff. 11-22-1984; Ord. No. 24-98, § 1, eff. 8-14-1998; Ord. No. 32-98, § 1, eff. 10-19-1998; Ord. No. 35-98, § 1, eff. 10-19-1998; Ord. No. 28-02, § 1, eff. 12-19-2002; Ord. No. 43-04, § 1, eff. 12-6-2004; Ord. No. 34-05, § 1, eff. 12-6-2005; Ord. No. 14-10, § 1, eff. 8-17-2010; Ord. No. 24-14, § 1, eff. 9-4-2014; Ord. No. 2019-37, § 1, eff. 11-27-2019; Ord. No. 2020-10, § 1, eff. 7-7-2020; Ord. No. 2021-20, § 1, eff. 9-9-2021; Ord. No. 2021-25, § 1, eff. 10-6-2021; Ord. No. 2023-26, § 1, eff. 7-14-2023)
Editor's note— Ord. No. 34-05, effective December 6, 2005, did not amend Map No. 1, but corrected a scrivener's error in Map No. 1 that occurred in Ord. No. 43-04, effective December 6, 2004.
(Code 1936; Code 1945; Code 1954; Code 1964; Code 1984; Ord. No. 171-D, § 1, eff. 12-25-1940; Ord. No. 206-D, § 1, eff. 7-16-1941; Ord. No. 112-F, § 1, eff. 4-12-1956; Ord. No. 140-F, § 1, eff. 8-2-1956; Ord. No. 255-F, § 1, eff. 1-16-1958; Ord. No. 609-F, § 1, eff. 10-19-1961; Ord. No. 641-F, § 1, eff. 1-25-1962; Ord. No. 741-F, § 1, eff. 11-22-1962; Ord. No. 389-G, § 1, eff. 12-18-1968; Ord. No. 621-G, § 1, eff. 10-28-1971; Ord. No. 685-G, § 1, eff. 2-1-1973; Ord. No. 732-G, § 1, eff. 11-2-1972; Ord. No. 17-H, § 1, eff. 1-13-1975; Ord. No. 197-H, § 1, eff. 8-12-1977; Ord. No. 249-H, § 1, eff. 5-23-1978; Ord. No. 446-H, § 1, eff. 7-5-1981; Ord. No. 29-86, § 1, eff. 12-24-1986; Ord. No. 21-89, § 1, eff. 12-1-1989; Ord. No. 20-90, § 1, eff. 12-15-1990; Ord. No. 42-95, § 1, eff. 12-21-1995; Ord. No. 03-96, § 1, eff. 3-29-1996; Ord. No. 19-98, § 1, eff. 7-27-1998; Ord. No. 21-98, § 1, eff. 8-14-1998; Ord. No. 23-98, § 1, eff. 8-24-1998; Ord. No. 33-98, § 1, eff. 10-19-1998; Ord. No. 03-99, § 1, eff. 4-1-1999; Ord. No. 06-99, § 2, eff. 6-2-1999; Ord. No. 35-99, § 1, eff. 12-3-1999; Ord. No. 17-00, § 1, eff. 9-2-2000; Ord. No. 18-02, § 1, eff. 10-25-2002; Ord. No. 25-03, § 1, eff. 7-16-2003; Ord. No. 06-04, § 1, eff. 2-26-2004; Ord. No. 28-04, § 1, eff. 8-10-2004; Ord. No. 43-04, § 1, eff. 12-6-2004; Ord. No. 17-05, § 1, eff. 5-6-2005; Ord. No. 34-05, § 1, eff. 12-6-2005; Ord. No. 24-06, § 1, eff. 8-11-2006; Ord. No. 26-06, § 1, eff. 8-16-2006; Ord. No. 21-07, § 1, eff. 7-2-2007; Ord. No. 31-07, § 1, eff. 11-26-2007; Ord. No. 05-10, § 1, eff. 4-27-2010; Ord. No. 30-11, § 1, eff. 12-14-2011; Ord. No. 31-11, § 1, eff. 12-22-2011; Ord. No. 32-11, § 1, eff. 12-22-2011; Ord. No. 28-14, § 1, eff. 9-5-2014; Ord. No. 44-16, § 1, eff. 3-2-2017; Ord. No. 02-17, § 1, eff. 4-18-2017; Ord. No. 2019-32, § 1, eff. 10-25-2019; Ord. No. 2021-10, § 1, eff. 4-1-2021; Ord. No. 2021-28, § 1, eff. 10-27-2021; Ord. No. 2023-40, § 1, eff. 12-2-2023)
Editor's note— Ord. No. 34-05, effective December 6, 2005, did not amend Map No. 2, but corrected a scrivener's error in Map No. 2 that occurred in Ord. No. 17-05, effective May 6, 2005.
(Code 1936; Code 1945; Code 1954; Code 1964; Code 1984; Ord. No. 171-D, § 1, eff. 12-25-1940; Ord. No. 185-D, § 1, eff. 4-2-1941; Ord. No. 218-D, § 1, eff. 11-6-1941; Ord. No. 69-E, § 1, eff. 4-11-1946; Ord. No. 275-E, § 1, eff. 9-23-1948; Ord. No. 300-E, § 1, eff. 2-17-1949; Ord. No. 312-E, § 1, eff. 4-21-1949; Ord. No. 392-E, § 1, eff. 12-29-1949; Ord. No. 407-E, § 1, eff. 2-23-1950; Ord. No. 430-E, § 1, eff. 5-4-1950; Ord. No. 504-E, § 1, eff. 11-2-1950; Ord. No. 560-E, § 1, eff. 6-21-1951; Ord. No. 772-E, § 1, eff. 8-6-1953; Ord. No. 786-E, § 1, eff. 9-24-1953; Ord. No. 870-E, § 1, eff. 6-24-1954; Ord. No. 174-F, § 1, eff. 1-10-1957; Ord. No. 434-F, § 1, eff. 12-17-1959; Ord. No. 846-F, § 1, eff. 4-9-1964; Ord. No. 213-G, § 1, eff. 11-23-1966; Ord. No. 307-G, § 1, eff. 1-18-1968; Ord. No. 316-G, § 1, eff. 3-27-1968; Ord. No. 318-G, § 1, eff. 3-31-1968; Ord. No. 462-G, § 1, eff. 10-15-1969; Ord. No. 473-G, § 1, eff. 12-10-1969; Ord. No. 653-G, § 1, eff. 3-8-1972; Ord. No. 697-G, § 1, eff. 7-20-1972; Ord. No. 850-G, § 1, eff. 10-10-1973; Ord. No. 58-H, § 1, eff. 10-10-1975; Ord. No. 152-H, § 1, eff. 11-10-1976; Ord. No. 520-H, § 1, eff. 11-5-1982; Ord. No. 565-H, § 1, eff. 10-21-1983; Ord. No. 21-96, § 1, eff. 9-24-1996; Ord. No. 34-97, § 1, eff. 10-20-1997; Ord. No. 22-98, § 1, eff. 8-31-1998; Ord. No. 34-98, § 1, eff. 10-27-1998; Ord. No. 28-00, § 1, eff. 12-8-2000; Ord. No. 05-01, § 1, eff. 5-21-2001; Ord. No. 07-02, § 1, eff. 7-26-2002; Ord. No. 28-02, § 1, eff. 12-19-2002; Ord. No. 16-05, § 1, eff. 5-6-2005; Ord. No. 34-05, § 1, eff. 12-6-2005; Ord. No. 35-05, § 1, eff. 12-13-2005; Ord. No. 04-06, § 1, eff. 2-27-2006; Ord. No. 41-06, § 1, eff. 12-6-2006; Ord. No. 19-08, § 1, eff. 9-11-2008; Ord. No. 21-09, § 1, eff. 11-6-2009; Ord. No. 05-13, § 1, eff. 3-27-2013; Ord. No. 07-13, § 1, eff. 3-27-2013; Ord. No. 30-13, § 1, eff. 12-24-2013; Ord. No. 02-14, § 1, eff. 4-23-2014; Ord. No. 10-15, § 1, eff. 5-12-2015; Ord. No. 08-16, § 1, eff. 4-23-2016; Ord. No. 16-16, § 1, eff. 5-28-2016; Ord. No. 08-17, § 1, eff. 5-20-2017; Ord. No. 2020-39, § 1, eff. 12-10-2020; Ord. No. 2021-16, § 1, eff. 5-26-2021; Ord. No. 2021-20, § 1, eff. 9-9-2021; Ord. No. 2023-15, § 1, eff. 5-26-2023)
Editor's note— Ord. No. 34-05, effective December 6, 2005, did not amend Map No. 3, but corrected a scrivener's error in Map No. 3 that occurred in Ord. No. 16-05, effective May 6, 2005.
(Code 1936; Code 1945; Code 1954; Code 1964; Code 1984; Ord. No. 171-D, § 1, eff. 12-25-1940; Ord. No. 206-D, § 1, eff. 7-16-1941; Ord. No. 246-D, § 1, eff. 4-23-1942; Ord. No. 437-E, § 1, eff. 5-25-1950; Ord. No. 557-E, § 1, eff. 6-21-1951; Ord. No. 616-E, § 1, eff. 3-6-1952; Ord. No. 671-E, § 1, eff. 9-25-1952; Ord. No. 255-F, § 1, eff. 1-16-1958; Ord. No. 783-F, § 1, eff. 5-15-1963; Ord. No. 85-G, § 1, eff. 6-23-1965; Ord. No. 94-G, § 1, eff. 7-8-1965; Ord. No. 110-G, § 1, eff. 9-8-1965; Ord. No. 153-G, § 1, eff. 3-9-1966; Ord. No. 211-G, § 1, eff. 11-16-1966; Ord. No. 369-G, § 1, eff. 10-23-1968; Ord. No. 439-G, § 1, eff. 7-13-1969; Ord. No. 481-G, § 1, eff. 1-18-1970; Ord. No. 711-G, § 1, eff. 8-23-1972; Ord. No. 804-G, § 1, eff. 4-12-1973; Ord. No. 13-H, § 1, eff. 1-8-1975; Ord. No. 457-H, § 1, eff. 7-31-1981; Ord. No. 463-H, § 1, eff. 8-19-1981; Ord. No. 526-H, § 1, eff. 11-9-1982; Ord. No. 20-89, § 1, eff. 11-6-1989; Ord. No. 26-93, § 1, eff. 12-1-1993; Ord. No. 01-96, § 1, eff. 3-6-1996; Ord. No. 25-96, § 1, eff. 10-25-1996; Ord. No. 37-98, § 1, eff. 10-30-1998; Ord. No. 34-05, § 1, eff. 12-6-2005; Ord. No. 39-07, § 1, eff. 12-5-2008; Ord. No. 25-09, § 1, eff. 12-5-2009; Ord. No. 26-09, § 1, eff. 12-5-2009; Ord. No. 28-10, § 1, eff. 12-15-2010; Ord. No. 35-11, § 1, eff. 12-22-2011; Ord. No. 03-12, § 1, eff. 3-8-2012; Ord. No. 24-13, § 1, eff. 8-28-2013; Ord. No. 29-14, § 1, eff. 9-5-2014; Ord. No. 07-16, § 1, eff. 4-23-2016; Ord. No. 29-16, § 1, eff. 8-23-2016; Ord. No. 31-16, § 1, eff. 10-8-2016; Ord. No. 20-17, § 1, eff. 8-26-2017; Ord. No. 24-17, § 1, eff. 9-9-2017; Ord. No. 27-17, § 1, eff. 10-28-2017; Ord. No. 30-17, § 1, eff. 11-17-2017; Ord. No. 26-18, § 1, eff. 12-13-2018; Ord. No. 14-19, § 1, eff. 6-8-2019; Ord. No. 26-19, § 1, eff. 9-5-2019; Ord. No. 2019-35, § 1, eff. 12-4-2019; Ord. No. 2019-47, § 1, eff. 12-28-2019; Ord. No. 2020-8, § 1, eff. 11-14-2020; Ord. No. 2020-16, § 1, eff. 8-6-2020; Ord. No. 2020-33, § 1, eff. 10-31-2020; Ord. No. 2020-40, § 1, eff. 12-10-2020; Ord. No. 2021-19, § 1, eff. 7-17-2021; Ord. No. 2022-18, § 1, eff. 9-28-2022; Ord. No. 2023-35, § 1, eff. 12-2-2023)
Editor's note— Ord. No. 34-05, effective December 6, 2005, did not amend Map No. 4, but corrected a scrivener's error in Map No. 4 that occurred in Ord. No. 37-98, effective October 30, 1998.
Editor's note— Ord. No. 2020-33, effective October 31, 2020, includes §§ 1—13 of the Brush Park Form-Based Code.
Editor's note— Ord. No. 2023-35, effective December 2, 2023, includes §§ 1—13 of the Brush Park Form-Based Code.
(Code 1936; Code 1945; Code 1954; Code 1964; Code 1984; Ord. No. 171-D, § 1, eff. 12-25-1940; Ord. No. 105-E, § 1, eff. 9-19-1946; Ord. No. 352-E, § 1, eff. 7-21-1949; Ord. No. 411-E, § 1, eff. 3-9-1950; Ord. No. 412-E, § 1, eff. 3-9-1950; Ord. No. 429-E, § 1, eff. 5-4-1950; Ord. No. 430-E, § 1, eff. 5-4-1950; Ord. No. 469-E, § 1, eff. 8-16-1950; Ord. No. 500-E, § 1, eff. 10-19-1950; Ord. No. 501-E, § 1, eff. 10-19-1950; Ord. No. 504-E, § 1, eff. 11-2-1950; Ord. No. 534-E, § 1, eff. 2-15-1951; Ord. No. 603-E, § 1, eff. 12-6-1951; Ord. No. 359-F, § 1, eff. 3-5-1959; Ord. No. 434-F, § 1, eff. 12-17-1959; Ord. No. 840-F, § 1, eff. 3-11-1964; Ord. No. 891-F, § 1, eff. 10-1-1964; Ord. No. 186-G, § 1, eff. 7-13-1966; Ord. No. 479-G, § 1, eff. 1-16-1970; Ord. No. 606-G, § 1, eff. 9-16-1971; Ord. No. 693-G, § 1, eff. 7-6-1972; Ord. No. 770-G, § 1, eff. 12-13-1972; Ord. No. 833-G, § 1, eff. 7-5-1973; Ord. No. 34-97, § 1, eff. 10-20-1997; Ord. No. 05-01, § 1, eff. 5-21-2001; Ord. No. 39-06, § 1, eff. 12-6-2006; Ord. No. 08-09, § 1, eff. 8-10-2009; Ord. No. 17-09, § 1, eff. 10-30-2009; Ord. No. 19-11, § 1, eff. 8-31-2011; Ord. No. 41-14, § 1, eff. 10-18-2014; Ord. No. 16-16, § 1, eff. 5-28-2016; Ord. No. 27-18, § 1, eff. 12-13-2018; Ord. No. 2022-7, § 1, eff. 3-19-2022; Ord. No. 2023-16, § 1, eff. 5-25-2023)
(Code 1936; Code 1945; Code 1954; Code 1964; Code 1984; Ord. No. 171-D, § 1, eff. 12-25-1940; Ord. No. 148-E, § 1, eff. 5-15-1947; Ord. No. 291-E, § 1, eff. 12-23-1948; Ord. No. 465-E, § 1, eff. 8-4-1950; Ord. No. 258-F, § 1, eff. 1-16-1958; Ord. No. 358-F, § 1, eff. 3-5-1959; Ord. No. 407-F, § 1, eff. 9-4-1959; Ord. No. 475-F, § 1, eff. 5-19-1960; Ord. No. 58-G, § 1, eff. 3-25-1965; Ord. No. 211-G, § 1, eff. 11-16-1966; Ord. No. 292-G, § 1, eff. 11-16-1967; Ord. No. 422-G, § 1, eff. 5-14-1969; Ord. No. 585-G, § 1, eff. 6-3-1971; Ord. No. 650-G, § 1, eff. 3-2-1972; Ord. No. 770-G, § 1, eff. 12-13-1972; Ord. No. 771-G, § 1, eff. 11-16-1972; Ord. No. 845-G, § 1, eff. 9-26-1973; Ord. No. 902-G, § 1, eff. 6-27-1974; Ord. No. 463-H, § 1, eff. 8-19-1981; Ord. No. 24-90, § 1, eff. 12-14-1990; Ord. No. 26-91, § 1, eff. 9-30-1991; Ord. No. 29-91, § 1, eff. 12-9-1991; Ord. No. 38-97, § 1, eff. 11-19-1997; Ord. No. 07-99, § 1, eff. 5-10-1999; Ord. No. 15-11, § 1, eff. 8-12-2011; Ord. No. 39-16, § 1, eff. 12-20-2016; Ord. No. 20-17, § 1, eff. 8-26-2017; Ord. No. 13-18, § 1, eff. 6-29-2018; Ord. No. 17-18, § 1, eff. 12-28-2018; Ord. No. 21-18, § 1, eff. 8-22-2018; Ord. No. 22-18, § 1, eff. 8-22-2018; Ord. No. 04-19, § 1, eff. 6-7-2019; Ord. No. 2021-35, § 1, eff. 11-12-2021; Ord. No. 2021-41, § 1, eff. 12-2-2021; Ord. No. 2022-13, § 1, eff. 5-26-2022)
(Code 1936; Code 1945; Code 1954; Code 1964; Code 1984; Ord. No. 171-D, § 1, eff. 12-25-1940; Ord. No. 31-E, § 1, eff. 8-16-1945; Ord. No. 157-E, § 1, eff. 6-12-1947; Ord. No. 387-E, § 1, eff. 12-8-1949; Ord. No. 413-E, § 1, eff. 3-16-1950; Ord. No. 501-E, § 1, eff. 10-19-1950; Ord. No. 660-E, § 1, eff. 8-7-1952; Ord. No. 60-F, § 1, eff. 10-20-1955; Ord. No. 206-F, § 1, eff. 6-27-1957; Ord. No. 227-F, § 1, eff. 9-26-1957; Ord. No. 313-F, § 1, eff. 8-7-1958; Ord. No. 442-F, § 1, eff. 1-15-1960; Ord. No. 717-F, § 1, eff. 8-23-1962; Ord. No. 734-F, § 1, eff. 10-18-1962; Ord. No. 11-G, § 1, eff. 11-19-1964; Ord. No. 66-G, § 1, eff. 4-14-1965; Ord. No. 197-G, § 1, eff. 8-31-1966; Ord. No. 351-G, § 1, eff. 9-1-1968; Ord. No. 693-G, § 1, eff. 7-6-1972; Ord. No. 713-G, § 1, eff. 8-3-1972; Ord. No. 775-G, § 1, eff. 12-27-1972; Ord. No. 837-G, § 1, eff. 8-2-1973; Ord. No. 261-H, § 1, eff. 6-19-1978; Ord. No. 358-H, § 1, eff. 12-11-1979; Ord. No. 366-H, § 1, eff. 1-17-1980; Ord. No. 498-H, § 1, eff. 5-7-1982; Ord. No. 24-85, § 1, eff. 7-25-1985; Ord. No. 37-92, § 1, eff. 12-11-1992; Ord. No. 03-03, § 1, eff. 4-7-2003; Ord. No. 28-12, § 1, eff. 12-28-2012; Ord. No. 26-14, § 1, eff. 9-7-2014; Ord. No. 27-14, § 1, 9-4-2014; Ord. No. 11-18, § 1, eff. 6-15-2018; Ord. No. 2019-41, § 1, eff. 12-26-2019; Ord. No. 2020-36, § 1, eff. 11-14-2020; Ord. No. 2021-40, § 1, eff. 12-2-2021; Ord. No. 2024-4, § 1, eff. 3-16-2024)
(Code 1936; Code 1945; Code 1954; Code 1964; Code 1984; Ord. No. 171-D, § 1, eff. 12-25-1940; Ord. No. 429-D, § 1, eff. 10-12-1944; Ord. No. 408-F, § 1, eff. 9-4-1959; Ord. No. 578-F, § 1, eff. 6-30-1961; Ord. No. 871-F, § 1, eff. 6-28-1964; Ord. No. 576-G, § 1, eff. 5-5-1971; Ord. No. 717-G, § 1, eff. 9-14-1972; Ord. No. 03-03, § 1, eff. 4-7-2003; Ord. No. 18-11, § 1, eff. 8-4-2011; Ord. No. 44-14, § 1, eff. 12-20-2014; Ord. No. 16-17, § 1, eff. 6-9-2017)
(Code 1936; Code 1945; Code 1954; Code 1964; Code 1984; Ord. No. 171-D, § 1, eff. 12-25-1940; Ord. No. 818-E, § 1, eff. 2-18-1954; Ord. No. 844-E, § 1, eff. 3-25-1954; Ord. No. 284-F, § 1, eff. 5-8-1958; Ord. No. 868-F, § 1, eff. 6-21-1964; Ord. No. 837-G, § 1, eff. 8-2-1973; Ord. No. 20-15, § 1, eff. 10-7-2015; Ord. No. 10-17, § 1, eff. 6-3-2017)
(Code 1936; Code 1945; Code 1954; Code 1964; Code 1984; Ord. No. 171-D, § 1, eff. 12-25-1940; Ord. No. 218-D, § 1, eff. 11-6-1941; Ord. No. 327-F, § 1, eff. 9-25-1958; Ord. No. 471-F, § 1, eff. 4-21-1960; Ord. No. 661-G, § 1, eff. 3-29-1972; Ord. No. 599-H, § 1, eff. 11-12-1984; Ord. No. 34-05, § 1, eff. 12-6-2005)
Editor's note— Ord. No. 34-05, effective December 6, 2005, did not amend Map No. 10, but corrected a scrivener's error in Map No. 10 that occurred in Ord. No. 599-H, effective November 12, 1984.
(Code 1936; Code 1945; Code 1954; Code 1964; Code 1984; Ord. No. 171-D, § 1, eff. 12-25-1940; Ord. No. 206-D, § 1, eff. 7-16-1941; Ord. No. 36-F, § 1, eff. 6-2-1955; Ord. No. 881-F, § 1, eff. 8-19-1964; Ord. No. 383-G, § 1, eff. 11-20-1968; Ord. No. 735-G, § 1, eff. 11-9-1972; Ord. No. 22-H, § 1, eff. 3-7-1975; Ord. No. 61-H, § 1, eff. 10-31-1975; Ord. No. 508-H, § 1, eff. 7-9-1982; Ord. No. 512-H, § 1, eff. 10-1-1982; Ord. No. 15-86, § 1, eff. 8-22-1986; Ord. No. 20-87, § 1, eff. 9-29-1987; Ord. No. 15-95, § 1, eff. 7-12-1995; Ord. No. 31-97, § 1, eff. 9-26-1997; Ord. No. 19-98, § 1, eff. 7-27-1998; Ord. No. 06-99, § 2, eff. 6-2-1999; Ord. No. 18-02, § 1, eff. 10-25-2002; Ord. No. 34-05, § 1, eff. 12-6-2005; Ord. No. 21-07, § 1, eff. 7-2-2007; Ord. No. 03-13, § 1, eff. 6-13-2013; Ord. No. 05-14, § 1, eff. 5-10-2014; Ord. No. 04-15, § 1, eff. 3-20-2015; Ord. No. 2019-46, § 1, eff. 12-28-2019)
Editor's note— Ord. No. 34-05, effective December 6, 2005, did not amend Map No. 11, but corrected a scrivener's error in Map No. 11 that occurred in Ord. No. 18-02, effective October 25, 2002.
(Code 1936; Code 1945; Code 1954; Code 1964; Code 1984; Ord. No. 171-D, § 1, eff. 12-25-1940; Ord. No. 206-D, § 1, eff. 7-16-1941; Ord. No. 155-E, § 1, eff. 6-12-1947; Ord. No. 168-E, § 1, eff. 8-21-1947; Ord. No. 273-E, § 1, eff. 9-16-1948; Ord. No. 410-E, § 1, eff. 3-2-1950; Ord. No. 431-E, § 1, eff. 5-11-1950; Ord. No. 364-F, § 1, eff. 3-15-1959; Ord. No. 501-F, § 1, eff. 7-14-1960; Ord. No. 881-F, § 1, eff. 8-19-1964; Ord. No. 54-G, § 1, eff. 3-17-1965; Ord. No. 427-G, § 1, eff. 6-4-1969; Ord. No. 517-G, § 1, eff. 7-30-1970; Ord. No. 570-G, § 1, eff. 3-25-1971; Ord. No. 657-G, § 1, eff. 3-22-1972; Ord. No. 22-H, § 1, eff. 3-7-1975; Ord. No. 18-90, § 1, eff. 11-16-1990; Ord. No. 34-04, § 1, eff. 11-19-2004; Ord. No. 34-05, § 1, eff. 12-6-2005; Ord. No. 22-10, § 1, eff. 11-26-2010; Ord. No. 12-17, § 1, eff. 7-25-2017; Ord. No. 2019-34, § 1, eff. 1-21-2020; Ord. No. 2022-18, § 1, eff. 9-28-2022)
Editor's note— Ord. No. 34-05, effective December 6, 2005, did not amend Map No. 12, but corrected a scrivener's error in Map No. 12 that occurred in Ord. No. 34-04, effective November 19, 2004.
(Code 1936; Code 1945; Code 1954; Code 1964; Code 1984; Ord. No. 171-D, § 1, eff. 12-25-1940; Ord. No. 447-E, § 1, eff. 6-22-1950; Ord. No. 536-E, § 1, eff. 3-1-1951; Ord. No. 537-E, § 1, eff. 3-8-1951; Ord. No. 220-F, § 1, eff. 8-29-1957; Ord. No. 225-F, § 1, eff. 9-19-1957; Ord. No. 296-F, § 1, eff. 7-3-1958; Ord. No. 618-F, § 1, eff. 11-22-1961; Ord. No. 516-G, § 1, eff. 7-30-1970; Ord. No. 34-05, § 1, eff. 12-6-2005; Ord. No. 2022-18, § 1, eff. 9-28-2022)
Editor's note— Ord. No. 34-05, effective December 6, 2005, did not amend Map No. 13, but corrected a scrivener's error in Map No. 13 that occurred in Ord. No. 516-G, effective July 30, 1970.
(Code 1936; Code 1945; Code 1954; Code 1964; Code 1984; Ord. No. 171-D, § 1, eff. 12-25-1940; Ord. No. 567-F, § 1, eff. 5-14-1961; Ord. No. 434-H, § 1, eff. 4-24-1981; Ord. No. 16-85, § 1, eff. 6-27-1985; Ord. No. 34-05, § 1, eff. 12-6-2005)
Editor's note— Ord. No. 34-05, effective December 6, 2005, did not amend Map No. 14, but corrected a scrivener's error in Map No. 14 that occurred in Ord. No. 434-H, effective April 24, 1981.
(Code 1936; Code 1945; Code 1954; Code 1964; Code 1984; Ord. No. 171-D, § 1, eff. 12-25-1940; Ord. No. 543-G, § 1, eff. 11-25-1970; Ord. No. 17-91, § 1, eff. 6-14-1991; Ord. No. 34-05, § 1, eff. 12-6-2005; Ord. No. 05-07, § 1, eff. 2-28-2007)
Editor's note— Ord. No. 34-05, effective December 6, 2005, did not amend Map No. 15, but corrected a scrivener's error in Map No. 15 that occurred in Ord. No. 17-91, effective June 14, 1991.
(Code 1936; Code 1945; Code 1954; Code 1964; Code 1984; Ord. No. 171-D, § 1, eff. 12-25-1940; Ord. No. 280-D, § 1, eff. 9-2-1942; Ord. No. 111-E, § 1, eff. 10-31-1946; Ord. No. 160-E, § 1, eff. 6-26-1947; Ord. No. 467-E, § 1, eff. 8-4-1950; Ord. No. 589-E, § 1, eff. 10-4-1951; Ord. No. 624-E, § 1, eff. 4-17-1952; Ord. No. 634-E, § 1, eff. 5-29-1952; Ord. No. 723-E, § 1, eff. 3-18-1953; Ord. No. 895-E, § 1, eff. 9-9-1954; Ord. No. 865-G, § 1, eff. 1-2-1974; Ord. No. 12-13, § 1, eff. 5-31-2013)
(Code 1936; Code 1945; Code 1954; Code 1964; Code 1984; Ord. No. 171-D, § 1, eff. 12-25-1940; Ord. No. 143-E, § 1, eff. 4-24-1947; Ord. No. 148-E, § 1, eff. 5-15-1947; Ord. No. 242-E, § 1, eff. 6-24-1948; Ord. No. 245-E, § 1, eff. 7-1-1948; Ord. No. 370-E, § 1, eff. 11-3-1949; Ord. No. 466-E, § 1, eff. 8-4-1950; Ord. No. 605-E, § 1, eff. 1-10-1952; Ord. No. 912-E, § 1, eff. 10-20-1954; Ord. No. 205-F, § 1, eff. 6-20-1957; Ord. No. 210-F, § 1, eff. 7-25-1957; Ord. No. 530-F, § 1, eff. 10-27-1960; Ord. No. 740-F, § 1, eff. 11-22-1962; Ord. No. 850-F, § 1, eff. 4-16-1964; Ord. No. 885-F, § 1, eff. 9-21-1964; Ord. No. 164-H, § 1, eff. 12-23-1976; Ord. No. 34-05, § 1, eff. 12-6-2005; Ord. No. 10-19, § 1, eff. 7-3-2019)
Editor's note— Ord. No. 34-05, effective December 6, 2005, did not amend Map No. 16, but corrected a scrivener's error in Map No. 16 that occurred in Ord. No. 164-H, effective December 23, 1976.
(Code 1936; Code 1945; Code 1954; Code 1964; Code 1984; Ord. No. 171-D, § 1, eff. 12-25-1940; Ord. No. 218-D, § 1, eff. 11-6-1941; Ord. No. 282-D, § 1, eff. 9-30-1942; Ord. No. 104-E, § 1, eff. 9-12-1946; Ord. No. 126-E, § 1, eff. 1-2-1947; Ord. No. 269-E, § 1, eff. 9-2-1948; Ord. No. 334-E, § 1, eff. 6-23-1949; Ord. No. 374-E, § 1, eff. 11-3-1949; Ord. No. 468-E, § 1, eff. 8-4-1950; Ord. No. 525-E, § 1, eff. 1-18-1951; Ord. No. 571-E, § 1, eff. 7-19-1951; Ord. No. 588-E, § 1, eff. 10-4-1951; Ord. No. 643-E, § 1, eff. 7-3-1952; Ord. No. 667-E, § 1, eff. 8-28-1952; Ord. No. 679-E, § 1, eff. 10-16-1952; Ord. No. 73-F, § 1, eff. 12-15-1955; Ord. No. 177-F, § 1, eff. 2-1-1957; Ord. No. 267-F, § 1, eff. 2-20-1958; Ord. No. 399-F, § 1, eff. 8-6-1959; Ord. No. 608-F, § 1, eff. 10-19-1961; Ord. No. 460-G, § 1, eff. 10-15-1969; Ord. No. 12-86, § 1, eff. 8-14-1986; Ord. No. 34-05, § 1, eff. 12-6-2005; Ord. No. 2023-3, § 1, eff. 2-4-2023)
Editor's note— Ord. No. 34-05, effective December 6, 2005, did not amend Map No. 17, but corrected a scrivener's error in Map No. 17 that occurred in Ord. No. 12-86, effective August 14, 1986.
(Code 1936; Code 1945; Code 1954; Code 1964; Code 1984; Ord. No. 171-D, § 1, eff. 12-25-1940; Ord. No. 187-D, § 1, eff. 5-8-1941; Ord. No. 210-D, § 1, eff. 8-6-1941; Ord. No. 218-D, § 1, eff. 11-6-1941; Ord. No. 282-D, § 1, eff. 9-30-1942; Ord. No. 345-D, § 1, eff. 8-19-1943; Ord. No. 42-E, § 1, eff. 10-18-1945; Ord. No. 53-E, § 1, eff. 1-31-1946; Ord. No. 56-E, § 1, eff. 2-21-1946; Ord. No. 188-E, § 1, eff. 10-2-1947; Ord. No. 356-E, § 1, eff. 9-8-1949; Ord. No. 584-E, § 1, eff. 9-21-1951; Ord. No. 676-E, § 1, eff. 10-10-1952; Ord. No. 813-E, § 1, eff. 12-17-1953; Ord. No. 891-E, § 1, eff. 8-26-1954; Ord. No. 54-F, § 1, eff. 10-6-1955; Ord. No. 83-F, § 1, eff. 1-12-1956; Ord. No. 103-F, § 1, eff. 3-29-1956; Ord. No. 223-F, § 1, eff. 9-5-1957; Ord. No. 254-F, § 1, eff. 1-2-1958; Ord. No. 608-F, § 1, eff. 10-19-1961; Ord. No. 121-G, § 1, eff. 10-14-1965; Ord. No. 165-G, § 1, eff. 4-15-1966; Ord. No. 476-G, § 1, eff. 12-29-1969; Ord. No. 06-86, § 1, eff. 7-17-1986; Ord. No. 35-06, § 1, eff. 12-1-2006; Ord. No. 13-13, § 1, eff. 11-7-2013; Ord. No. 2020-20, § 1, eff. 7-28-2020)
(Code 1936; Code 1945; Code 1954; Code 1964; Code 1984; Ord. No. 171-D, § 1, eff. 12-25-1940; Ord. No. 9-E, § 1, eff. 4-26-1945; Ord. No. 53-E, § 1, eff. 1-31-1946; Ord. No. 80-E, § 1, eff. 5-16-1946; Ord. No. 211-E, § 1, eff. 12-25-1947; Ord. No. 488-E, § 1, eff. 10-5-1950; Ord. No. 551-E, § 1, eff. 5-10-1951; Ord. No. 39-F, § 1, eff. 7-28-1955; Ord. No. 477-G, § 1, eff. 12-29-1969; Ord. No. 431-H, § 1, eff. 4-29-1981; Ord. No. 34-05, § 1, eff. 12-6-2005; Ord. No. 16-12, § 1, eff. 8-11-2012; Ord. No. 19-19, § 1, eff. 8-3-2019)
Editor's note— Ord. No. 34-05, effective December 6, 2005, did not amend Map No. 19, but corrected a scrivener's error in Map No. 19 that occurred in Ord. No. 431-H, effective April 29, 1981.
(Code 1936; Code 1945; Code 1954; Code 1964; Code 1984; Ord. No. 171-D, § 1, eff. 12-25-1940; Ord. No. 442-D, § 1, eff. 12-21-1944; Ord. No. 65-E, § 1, eff. 3-28-1946; Ord. No. 107-E, § 1, eff. 10-3-1946; Ord. No. 130-E, § 1, eff. 2-6-1947; Ord. No. 152-E, § 1, eff. 5-29-1947; Ord. No. 227-E, § 1, eff. 4-1-1948; Ord. No. 301-E, § 1, eff. 2-17-1949; Ord. No. 318-E, § 1, eff. 5-19-1949; Ord. No. 418-E, § 1, eff. 3-23-1950; Ord. No. 511-E, § 1, eff. 11-23-1950; Ord. No. 819-F, § 1, eff. 12-12-1963; Ord. No. 93-G, § 1, eff. 6-10-1965; Ord. No. 375-G, § 1, eff. 11-6-1968)
(Code 1936; Code 1945; Code 1954; Code 1964; Code 1984; Ord. No. 171-D, § 1, eff. 12-25-1940; Ord. No. 232-D, § 1, eff. 1-22-1942; Ord. No. 99-E, § 1, eff. 8-1-1946; Ord. No. 211-E, § 1, eff. 12-25-1947; Ord. No. 345-E, § 1, eff. 8-4-1949; Ord. No. 503-F, § 1, eff. 7-20-1960; Ord. No. 01-87, § 1, eff. 1-30-1987; Ord. No. 16-12, § 1, eff. 8-11-2012)
(Code 1936; Code 1945; Code 1954; Code 1964; Code 1984; Ord. No. 171-D, § 1, eff. 12-25-1940; Ord. No. 218-D, § 1, eff. 11-6-1941; Ord. No. 367-D, § 1, eff. 3-9-1944; Ord. No. 180-E, § 1, eff. 8-14-1947; Ord. No. 227-E, § 1, eff. 4-1-1948; Ord. No. 511-E, § 1, eff. 11-23-1950; Ord. No. 115-F, § 1, eff. 5-17-1956; Ord. No. 176-F, § 1, eff. 2-1-1957; Ord. No. 233-F, § 1, eff. 10-25-1957; Ord. No. 447-F, § 1, eff. 1-28-1960; Ord. No. 510-F, § 1, eff. 8-10-1960; Ord. No. 812-F, § 1, eff. 11-13-1963; Ord. No. 870-F, § 1, eff. 6-28-1964; Ord. No. 141-G, § 1, eff. 1-20-1966; Ord. No. 168-G, § 1, eff. 5-25-1966; Ord. No. 2022-8, § 1, eff. 3-26-2022)
(Code 1936; Code 1945; Code 1954; Code 1964; Code 1984; Ord. No. 171-D, § 1, eff. 12-25-1940; Ord. No. 218-D, § 1, eff. 11-6-1941; Ord. No. 173-E, § 1, eff. 9-4-1947; Ord. No. 333-E, § 1, eff. 6-23-1949; Ord. No. 535-E, § 1, eff. 3-1-1951; Ord. No. 803-E, § 1, eff. 11-26-1953; Ord. No. 61-F, § 1, eff. 10-20-1955; Ord. No. 298-F, § 1, eff. 6-27-1958; Ord. No. 505-F, § 1, eff. 7-28-1960; Ord. No. 05-91, § 1, eff. 3-29-1991; Ord. No. 11-02, § 1, eff. 8-23-2002; Ord. No. 02-12, § 1, eff. 3-15-2012; Ord. No. 2019-31, § 1, eff. 10-26-2019; Ord. No. 2022-15, § 1, eff. 6-2-2022)
(Code 1936; Code 1945; Code 1954; Code 1964; Code 1984; Ord. No. 171-D, § 1, eff. 12-25-1940; Ord. No. 126-E, § 1, eff. 1-2-1947; Ord. No. 259-E, § 1, eff. 8-5-1948; Ord. No. 363-E, § 1, eff. 9-30-1949; Ord. No. 661-E, § 1, eff. 8-7-1952; Ord. No. 896-E, § 1, eff. 9-9-1954; Ord. No. 395-G, § 1, eff. 1-1-1969; Ord. No. 423-G, § 1, eff. 5-21-1969; Ord. No. 885-G, § 1, eff. 3-21-1974; Ord. No. 586-H, § 1, eff. 5-30-1984; Ord. No. 19-07, § 1, eff. 7-2-2007; Ord. No. 25-12, § 1, eff. 11-27-2012; Ord. No. 09-13, § 1, eff. 4-6-2013; Ord. No. 2020-25, § 1, eff. 8-25-2020; Ord. No. 2023-22, § 1, eff. 7-1-2023)
(Code 1936; Code 1945; Code 1954; Code 1964; Code 1984; Ord. No. 171-D, § 1, eff. 12-25-1940; Ord. No. 363-D, § 1, eff. 1-27-1944; Ord. No. 69-E, § 1, eff. 4-11-1946; Ord. No. 202-E, § 1, eff. 11-6-1947; Ord. No. 439-E, § 1, eff. 6-2-1950; Ord. No. 489-E, § 1, eff. 10-5-1950; Ord. No. 809-E, § 1, eff. 12-24-1953; Ord. No. 916-E, § 1, eff. 10-28-1954; Ord. No. 932-E, § 1, eff. 1-21-1955; Ord. No. 62-F, § 1, eff. 10-27-1955; Ord. No. 90-G, § 1, eff. 7-4-1965; Ord. No. 04-07, § 1, 3-2-2007; Ord. No. 11-15, § 1, eff. 5-16-2015)
(Code 1936; Code 1945; Code 1954; Code 1964; Code 1984; Ord. No. 171-D, § 1, eff. 12-25-1940; Ord. No. 437-D, § 1, eff. 11-23-1944; Ord. No. 530-E, § 1, eff. 1-18-1951; Ord. No. 537-E, § 1, eff. 3-8-1951; Ord. No. 815-E, § 1, eff. 1-16-1954; Ord. No. 378-F, § 1, eff. 5-7-1959; Ord. No. 560-F, § 1, eff. 3-11-1961; Ord. No. 643-F, § 1, eff. 1-25-1962; Ord. No. 221-G, § 1, eff. 1-11-1967; Ord. No. 842-G, § 1, eff. 9-13-1973; Ord. No. 889-G, § 1, eff. 5-16-1974; Ord. No. 345-H, § 1, eff. 9-28-1979; Ord. No. 06-97, § 1, eff. 3-24-1997; Ord. No. 34-04, § 1, eff. 11-19-2004; Ord. No. 36-05, § 1, eff. 12-13-2005)
(Code 1936; Code 1945; Code 1954; Code 1964; Code 1984; Ord. No. 171-D, § 1, eff. 12-25-1940; Ord. No. 218-D, § 1, eff. 11-6-1941; Ord. No. 369-E, § 1, eff. 10-27-1949; Ord. No. 794-F, § 1, eff. 7-11-1963; Ord. No. 187-G, § 1, eff. 7-13-1966; Ord. No. 199-G, § 1, eff. 9-15-1966; Ord. No. 440-G, § 1, eff. 7-23-1969; Ord. No. 651-G, § 1, eff. 3-2-1972; Ord. No. 18-88, § 1, eff. 6-30-1988; Ord. No. 08-93, § 1, eff. 7-2-1993; Ord. No. 07-98, § 1, eff. 3-25-1998; Ord. No. 40-06, § 1, eff. 12-13-2006; Ord. No. 11-19, § 1, eff. 7-4-2019; Ord. No. 2019-33, § 1, eff. 11-9-2019; Ord. No. 2022-9, § 1, eff. 4-8-2022; Ord. No. 2023-18, § 1, eff. 5-30-2023; Ord. No. 2023-19, § 1, eff. 5-30-2023; Ord. No. 2023-27, § 1, eff. 7-26-2023)
(Code 1936; Code 1945; Code 1954; Code 1964; Code 1984; Ord. No. 171-D, § 1, eff. 12-25-1940; Ord. No. 95-E, § 1, eff. 7-25-1946; Ord. No. 814-E, § 1, eff. 1-14-1954; Ord. No. 152-F, § 1, eff. 9-13-1956; Ord. No. 808-F, § 1, eff. 10-16-1963; Ord. No. 852-F, § 1, eff. 4-29-1964; Ord. No. 884-F, § 1, eff. 9-17-1964; Ord. No. 465-G, § 1, eff. 10-29-1969; Ord. No. 603-G, § 1, eff. 9-8-1971; Ord. No. 333-H, § 1, eff. 7-27-1979; Ord. No. 351-H, § 1, eff. 11-29-1979; Ord. No. 394-H, § 1, eff. 6-20-1980; Ord. No. 588-H, § 1, eff. 6-1-1984; Ord. No. 28-87, § 1, eff. 12-1-1987; Ord. No. 03-90, § 1, eff. 2-23-1990; Ord. No. 18-91, § 1, eff. 6-14-1991; Ord. No. 19-98, § 1, eff. 7-27-1998; Ord. No. 20-99, § 1, eff. 8-4-1999; Ord. No. 34-04, § 1, eff. 11-19-2004; Ord. No. 12-05, § 1, eff. 4-4-2005; Ord. No. 34-05, § 1, eff. 12-6-2005; Ord. No. 13-08, § 1, eff. 8-22-2008; Ord. No. 02-11, § 1, eff. 2-15-2011; Ord. No. 29-12, § 1, eff. 12-19-2012; Ord. No. 05-14, § 1, eff. 5-10-2014; Ord. No. 10-18, § 1, eff. 5-17-2018; Ord. No. 29-18, § 1, eff. 12-15-2018; Ord. No. 2021-3, § 1, eff. 2-11-2021)
Editor's note— Ord. No. 34-05, effective December 6, 2005, did not amend Map No. 29, but corrected a scrivener's error in Map No. 29 that occurred in Ord. No. 12-05, effective April 4, 2005.
(Code 1936; Code 1945; Code 1954; Code 1964; Code 1984; Ord. No. 171-D, § 1, eff. 12-25-1940; Ord. No. 218-D, § 1, eff. 11-6-1941; Ord. No. 126-E, § 1, eff. 1-2-1947; Ord. No. 579-E, § 1, eff. 9-6-1951; Code 1954; Ord. No. 204-F, § 1, eff. 6-20-1957; Ord. No. 715-F, § 1, eff. 8-23-1962; Ord. No. 794-F, § 1, eff. 7-11-1963; Ord. No. 126-G, § 1, eff. 11-11-1965; Ord. No. 330-G, § 1, eff. 7-4-1968; Ord. No. 564-G, § 1, eff. 2-24-1971; Ord. No. 651-G, § 1, eff. 3-2-1972; Ord. No. 789-G, § 1, eff. 2-21-1973; Ord. No. 167-H, § 1, eff. 1-6-1977; Ord. No. 334-H, § 1, eff. 7-27-1979; Ord. No. 18-88, § 1, eff. 6-30-1988; Ord. No. 02-01, § 1, eff. 4-12-2001; Ord. No. 23-05, § 1, eff. 7-11-2005; Ord. No. 34-05, § 1, eff. 12-6-2005; Ord. No. 26-07, § 1, eff. 8-3-2007; Ord. No. 27-07, § 1, eff. 8-3-2007; Ord. No. 11-19, § 1, eff. 7-4-2019; Ord. No. 2019-33, § 1, eff. 11-9-2019)
Editor's note— Ord. No. 34-05, effective December 6, 2005, did not amend Map No. 30, but corrected a scrivener's error in Map No. 30 that occurred in Ord. No. 23-05, effective July 11, 2005.
(Code 1936; Code 1945; Code 1954; Code 1964; Code 1984; Ord. No. 171-D, § 1, eff. 12-25-1940; Ord. No. 428-D, § 1, eff. 9-28-1944; Ord. No. 190-E, § 1, eff. 10-2-1947; Ord. No. 266-F, § 1, eff. 2-20-1958; Ord. No. 416-G, § 1, eff. 4-25-1969; Ord. No. 696-G, § 1, eff. 7-20-1972; Ord. No. 739-G, § 1, eff. 11-12-1972; Ord. No. 907-G, § 1, eff. 7-21-1974; Ord. No. 3-H, § 1, eff. 9-15-1974; Ord. No. 313-H, § 1, eff. 3-5-1979; Ord. No. 430-H, § 1, eff. 4-17-1981; Ord. No. 587-H, § 1, eff. 5-25-1984; Ord. No. 25-87, § 1, eff. 11-6-1987; Ord. No. 08-88, § 1, eff. 3-18-1988; Ord. No. 18-88, § 1, eff. 6-30-1988; Ord. No. 24-91, § 1, eff. 8-13-1991; Ord. No. 09-95, § 1, eff. 5-9-1995; Ord. No. 06-96, § 1, eff. 4-10-1996; Ord. No. 10-97, § 1, eff. 5-9-1997; Ord. No. 11-97, § 1, eff. 5-9-1997; Ord. No. 12-97, § 1, eff. 5-9-1997; Ord. No. 13-97, § 1, eff. 5-9-1997; Ord. No. 05-98, § 1, eff. 3-23-1998; Ord. No. 06-98, § 1, eff. 3-23-1998; Ord. No. 10-01, § 1, eff. 8-14-2001; Ord. No. 24-02, § 1, eff. 12-5-2002)
(Code 1936; Code 1945; Code 1954; Code 1964; Code 1984; Ord. No. 171-D, § 1, eff. 12-25-1940; Ord. No. 218-D, § 1, eff. 11-6-1941; Ord. No. 115-E, § 1, eff. 11-28-1946; Ord. No. 382-G, § 1, eff. 11-13-1968; Ord. No. 18-88, § 1, eff. 6-30-1988; Ord. No. 28-88, § 1, eff. 8-12-1988; Ord. No. 15-89, § 1, eff. 10-6-1989; Ord. No. 27-92, § 1, 10-5-1992; Ord. No. 24-95, § 1, eff. 8-28-1995; Ord. No. 29-97, § 1, eff. 8-12-1997; Ord. No. 16-04, § 1, eff. 5-26-2004; Ord. No. 09-06, § 1, eff. 4-21-2006; Ord. No. 10-06, § 1, eff. 4-20-2006; Ord. No. 31-17, § 1, eff. 11-17-2017; Ord. No. 40-17, § 1, eff. 3-30-2018)
(Code 1936; Code 1945; Code 1954; Code 1964; Code 1984; Ord. No. 171-D, § 1, eff. 12-25-1940; Ord. No. 212-D, § 1, eff. 9-25-1941; Ord. No. 189-E, § 1, eff. 10-2-1947; Ord. No. 872-E, § 1, eff. 7-1-1954; Ord. No. 86-F, § 1, eff. 1-26-1956; Ord. No. 151-F, § 1, eff. 9-13-1956; Ord. No. 207-F, § 1, eff. 6-27-1957; Ord. No. 458-F, § 1, eff. 2-18-1960; Ord. No. 536-F, § 1, eff. 12-1-1960; Ord. No. 878-F, § 1, eff. 8-6-1964; Ord. No. 604-G, § 1, eff. 9-8-1971; Ord. No. 474-H, § 1, eff. 10-30-1981; Ord. No. 17-12, § 1, eff. 8-16-2012)
(Code 1936; Code 1945; Code 1954; Code 1964; Code 1984; Ord. No. 171-D, § 1, eff. 12-25-1940; Ord. No. 209-D, § 1, eff. 8-6-1941; Ord. No. 218-D, § 1, eff. 11-6-1941; Ord. No. 382-E, § 1, eff. 11-17-1949; Ord. No. 458-F, § 1, eff. 2-18-1960; Ord. No. 28-88, § 1, eff. 8-12-1988; Ord. No. 16-00, § 1, eff. 8-24-2000; Ord. No. 09-03, § 1, eff. 5-12-2003; Ord. No. 16-04, § 1, eff. 5-26-2004; Ord. No. 09-12, § 1, eff. 6-27-2012)
(Code 1936; Code 1945; Code 1954; Code 1964; Code 1984; Ord. No. 171-D, § 1, eff. 12-25-1940; Ord. No. 218-D, § 1, eff. 11-6-1941; Ord. No. 437-D, § 1, eff. 11-23-1944; Ord. No. 48-E, § 1, eff. 12-28-1945; Ord. No. 681-E, § 1, eff. 10-23-1952; Ord. No. 806-E, § 1, eff. 12-10-1953; Ord. No. 915-E, § 1, eff. 10-28-1954; Ord. No. 926-E, § 1, eff. 12-23-1954; Ord. No. 314-F, § 1, eff. 8-7-1958; Ord. No. 96-G, § 1, eff. 7-14-1965; Ord. No. 670-G, § 1, eff. 4-19-1972)
(Code 1936; Code 1945; Code 1954; Code 1964; Code 1984; Ord. No. 171-D, § 1, eff. 12-25-1940; Ord. No. 186-D, § 1, eff. 4-23-1941; Ord. No. 205-D, § 1, eff. 7-16-1941; Ord. No. 215-D, § 1, eff. 10-16-1941; Ord. No. 55-E, § 1, eff. 2-21-1946; Ord. No. 109-E, § 1, eff. 10-17-1946; Ord. No. 174-E, § 1, eff. 9-4-1947; Ord. No. 393-E, § 1, eff. 12-29-1949; Ord. No. 898-E, § 1, eff. 9-16-1954; Ord. No. 637-F, § 1, eff. 1-18-1962; Ord. No. 710-F, § 1, eff. 7-19-1962; Ord. No. 353-G, § 1, eff. 9-12-1968; Ord. No. 475-G, § 1, eff. 12-29-1969)
(Code 1936; Code 1945; Code 1954; Code 1964; Code 1984; Ord. No. 171-D, § 1, eff. 12-25-1940; Ord. No. 259-D, § 1, eff. 6-10-1942; Ord. No. 29-E, § 1, eff. 8-2-1945; Ord. No. 41-E, § 1, eff. 10-11-1945; Ord. No. 226-E, § 1, eff. 3-25-1948; Ord. No. 227-E, § 1, eff. 4-1-1948; Ord. No. 256-E, § 1, eff. 7-22-1948; Ord. No. 289-E, § 1, eff. 12-16-1948; Ord. No. 462-E, § 1, eff. 7-27-1950; Ord. No. 511-E, § 1, eff. 11-23-1950; Ord. No. 539-E, § 1, eff. 3-22-1951; Ord. No. 719-E, § 1, eff. 3-12-1953; Ord. No. 839-E, § 1, eff. 3-11-1954; Ord. No. 869-E, § 1, eff. 6-10-1954; Ord. No. 881-E, § 1, eff. 8-5-1954; Ord. No. 30-F, § 1, eff. 6-23-1955; Ord. No. 64-F, § 1, eff. 11-10-1955; Ord. No. 122-F, § 1, eff. 6-28-1956; Ord. No. 256-F, § 1, eff. 1-16-1958; Ord. No. 873-F, § 1, eff. 7-15-1964; Ord. No. 537-G, § 1, eff. 10-22-1970; Ord. No. 344-H, § 1, eff. 11-1-1979; Ord. No. 05-89, § 1, eff. 4-21-1989; Ord. No. 29-98, § 1, eff. 10-23-1998; Ord. No. 13-99, § 1, eff. 7-21-1999; Ord. No. 14-99, § 1, eff. 7-21-1999; Ord. No. 18-00, § 1, eff. 9-8-2000; Ord. No. 20-00, § 1, eff. 9-8-2000; Ord. No. 05-04, § 1, eff. 3-9-2004; Ord. No. 03-06, § 1, eff. 3-22-2006; Ord. No. 18-07, § 1, eff. 7-9-2007; Ord. No. 21-14, § 1, eff. 7-11-2014)
(Code 1936; Code 1945; Code 1954; Code 1964; Code 1984; Ord. No. 171-D, § 1, eff. 12-25-1940; Ord. No. 238-D, § 1, eff. 1-28-1942; Ord. No. 61-E, § 1, eff. 3-14-1946; Ord. No. 78-E, § 1, eff. 5-16-1946; Ord. No. 155-E, § 1, eff. 6-12-1947; Ord. No. 203-E, § 1, eff. 11-6-1947; Ord. No. 268-E, § 1, eff. 9-2-1948; Ord. No. 276-F, § 1, eff. 3-27-1958; Ord. No. 329-F, § 1, eff. 10-2-1958; Ord. No. 1-H, § 1, eff. 8-23-1974)
(Code 1936; Code 1945; Code 1954; Code 1964; Code 1984; Ord. No. 171-D, § 1, eff. 12-25-1940; Ord. No. 209-D, § 1, eff. 8-6-1941; Ord. No. 218-D, § 1, eff. 11-6-1941; Ord. No. 352-D, § 1, eff. 10-28-1943; Ord. No. 12-E, § 1, eff. 5-17-1945; Ord. No. 69-E, § 1, eff. 4-11-1946; Ord. No. 183-E, § 1, eff. 9-17-1947; Ord. No. 376-E, § 1, eff. 11-10-1949; Ord. No. 471-E, § 1, eff. 8-16-1950; Ord. No. 547-E, § 1, eff. 4-5-1951; Ord. No. 581-E, § 1, eff. 8-16-1951; Ord. No. 614-E, § 1, eff. 2-14-1952; Ord. No. 701-E, § 1, eff. 12-12-1952; Ord. No. 166-F, § 1, eff. 11-1-1956; Ord. No. 467-F, § 1, eff. 3-31-1960; Ord. No. 489-F, § 1, eff. 6-22-1960; Ord. No. 491-F, § 1, eff. 6-30-1960; Ord. No. 526-F, § 1, eff. 10-13-1960; Ord. No. 535-F, § 1, eff. 12-1-1960; Ord. No. 568-F, § 1, eff. 4-9-1961; Ord. No. 622-F, § 1, eff. 12-6-1961; Ord. No. 647-F, § 1, eff. 1-28-1962; Ord. No. 702-F, § 1, eff. 6-27-1962; Ord. No. 759-F, § 1, eff. 1-15-1963; Ord. No. 780-F, § 1, eff. 5-8-1963; Ord. No. 809-F, § 1, eff. 10-16-1963; Ord. No. 829-F, § 1, eff. 1-8-1964; Ord. No. 73-G, § 1, eff. 5-20-1965; Ord. No. 289-G, § 1, eff. 12-14-1967; Ord. No. 348-G, § 1, eff. 8-29-1968; Ord. No. 441-G, § 1, eff. 7-23-1969; Ord. No. 557-G, § 1, eff. 1-28-1971; Ord. No. 692-G, § 1, eff. 7-6-1972; Ord. No. 725-G, § 1, eff. 9-7-1972; Ord. No. 399-H, § 1, eff. 8-31-1980; Ord. No. 403-H, § 1, eff. 10-25-1980; Ord. No. 43-88, § 1, eff. 12-2-1988; Ord. No. 19-04, § 1, eff. 7-19-2004; Ord. No. 06-07, § 1, eff. 2-28-2007; Ord. No. 05-08, § 1, eff. 3-26-2008; Ord. No. 05-11, § 1, eff. 3-29-2011; Ord. No. 30-14, § 1, eff. 9-5-2014; Ord. No. 03-17, § 1, eff. 4-18-2017; Ord. No. 2020-18, § 1, eff. 8-14-2020; Ord. No. 2022-6, § 1, eff. 3-26-2022; Ord. No. 2023-14, § 1, eff. 5-23-2023)
(Code 1936; Code 1945; Code 1954; Code 1964; Code 1984; Ord. No. 171-D, § 1, eff. 12-25-1940; Ord. No. 238-D, § 1, eff. 1-28-1942; Ord. No. 207-E, § 1, eff. 12-18-1947; Ord. No. 231-E, § 1, eff. 4-15-1948; Ord. No. 341-E, § 1, eff. 7-28-1949; Ord. No. 712-E, § 1, eff. 1-29-1953; Ord. No. 721-E, § 1, eff. 3-18-1953; Ord. No. 186-F, § 1, eff. 3-14-1957; Ord. No. 253-F, § 1, eff. 1-2-1958; Ord. No. 818-F, § 1, eff. 12-6-1963; Ord. No. 2-G, § 1, eff. 11-5-1964; Ord. No. 426-G, § 1, eff. 5-28-1969; Ord. No. 14-H, § 1, eff. 12-23-1974; Ord. No. 564-H, § 1, eff. 10-3-1983; Ord. No. 09-07, § 1, eff. 5-2-2007; Ord. No. 25-07, § 1, eff. 8-3-2007; Ord. No. 15-10, § 1, eff. 8-31-2010; Ord. No. 05-12, § 1, eff. 4-18-2012; Ord. No. 22-14, § 1, eff. 7-11-2014; Ord. No. 14-16, § 1, eff. 5-17-2016; Ord. No. 34-18, § 1, eff. 12-18-2018; Ord. No. 2023-38, § 1, eff. 11-28-2023)
(Code 1936; Code 1945; Code 1954; Code 1964; Code 1984; Ord. No. 171-D, § 1, eff. 12-25-1940; Ord. No. 218-D, § 1, eff. 11-6-1941; Ord. No. 108-E, § 1, eff. 10-10-1946; Ord. No. 187-E, § 1, eff. 9-4-1947; Ord. No. 153-F, § 1, eff. 9-20-1956; Ord. No. 760-F, § 1, eff. 2-14-1963; Ord. No. 125-G, § 1, eff. 11-11-1965; Ord. No. 444-H, § 1, eff. 7-5-1981; Ord. No. 589-H, § 1, eff. 8-1-1984; Ord. No. 05-90, § 1, eff. 5-11-1990; Ord. No. 14-98, § 1, eff. 7-3-1998; Ord. No. 40-03, § 1, eff. 12-3-2003; Ord. No. 14-13, § 1, eff. 5-8-2013; Ord. No. 09-17, § 1, eff. 5-20-2017; Ord. No. 2021-7, § 1, eff. 3-4-2021; Ord. No. 2021-11, § 1, eff. 4-9-2021)
(Code 1936; Code 1945; Code 1954; Code 1964; Code 1984; Ord. No. 171-D, § 1, eff. 12-25-1940; Ord. No. 345-D, § 1, eff. 8-19-1943; Ord. No. 39-E, § 1, eff. 9-20-1945; Ord. No. 152-E, § 1, eff. 5-29-1947; Ord. No. 170-E, § 1, eff. 8-21-1947; Ord. No. 184-E, § 1, eff. 9-17-1947; Ord. No. 192-E, § 1, eff. 10-9-1947; Ord. No. 531-E, § 1, eff. 2-15-1951; Ord. No. 604-E, § 1, eff. 1-10-1952; Ord. No. 636-E, § 1, eff. 6-5-1952; Ord. No. 842-F, § 1, eff. 3-26-1964; Ord. No. 15-G, § 1, eff. 12-4-1964; Ord. No. 130-G, § 1, eff. 12-1-1965; Ord. No. 196-G, § 1, eff. 8-31-1966; Ord. No. 212-G, § 1, eff. 11-23-1966; Ord. No. 483-G, § 1, eff. 2-1-1970; Ord. No. 558-G, § 1, eff. 1-28-1971; Ord. No. 584-G, § 1, eff. 5-27-1971; Ord. No. 529-H, § 1, eff. 11-19-1982; Ord. No. 04-91, § 1, eff. 3-22-1991; Ord. No. 10-91, § 1, eff. 4-26-1991; Ord. No. 28-93, § 1, eff. 1-7-1994; Ord. No. 02-99, § 1, eff. 3-12-1999; Ord. No. 34-06, § 1, eff. 11-28-2006; Ord. No. 20-07, § 1, eff. 7-2-2007; Ord. No. 07-10, § 1, eff. 6-18-2010; Ord. No. 30-12, § 1, eff. 1-2-2013; Ord. No. 38-16, § 1, eff. 12-20-2016; Ord. No. 13-19, § 1, eff. 7-27-2019; Ord. No. 2021-7, § 1, eff. 3-4-2021)
(Code 1936; Code 1945; Code 1954; Code 1964; Code 1984; Ord. No. 171-D, § 1, eff. 12-25-1940; Ord. No. 805-E, § 1, eff. 12-10-1953; Ord. No. 59-F, § 1, eff. 10-20-1955; Ord. No. 563-F, § 1, eff. 4-13-1961; Ord. No. 572-F, § 1, eff. 6-22-1961; Ord. No. 336-G, § 1, eff. 7-25-1968; Ord. No. 612-G, § 1, eff. 9-29-1971; Ord. No. 655-G, § 1, eff. 3-8-1972; Ord. No. 899-G, § 1, eff. 6-13-1974; Ord. No. 86-H, § 1, eff. 3-26-1976; Ord. No. 14-04, § 1, eff. 4-16-2004; Ord. No. 10-11, § 1, eff. 6-14-2011; Ord. No. 04-13, § 1, eff. 3-1-2013; Ord. No. 25-14, § 1, eff. 9-4-2014; Ord. No. 28-16, § 1, eff. 8-20-2016; Ord. No. 2021-7, § 1, eff. 3-4-2021; Ord. No. 2023-34, § 1, eff. 11-22-2023)
(Code 1936; Code 1945; Code 1954; Code 1964; Code 1984; Ord. No. 171-D, § 1, eff. 12-25-1940; Ord. No. 208-E, § 1, eff. 12-25-1947; Ord. No. 524-E, § 1, eff. 1-11-1951; Ord. No. 906-E, § 1, eff. 9-30-1954; Ord. No. 117-F, § 1, eff. 5-24-1956; Ord. No. 531-F, § 1, eff. 11-3-1960; Ord. No. 624-F, § 1, eff. 12-6-1961; Ord. No. 798-F, § 1, eff. 8-1-1963; Ord. No. 183-G, § 1, eff. 7-6-1966; Ord. No. 293-G, § 1, eff. 12-14-1967; Ord. No. 336-G, § 1, eff. 7-25-1968; Ord. No. 379-G, § 1, eff. 11-13-1968; Ord. No. 595-G, § 1, eff. 7-15-1971; Ord. No. 611-G, § 1, eff. 9-2-1971; Ord. No. 734-G, § 1, eff. 11-9-1972; Ord. No. 778-G, § 1, eff. 1-11-1973; Ord. No. 900-G, § 1, eff. 6-13-1974; Ord. No. 355-H, § 1, eff. 11-26-1979; Ord. No. 409-H, § 1, eff. 12-18-1980; Ord. No. 22-87, § 1, eff. 7-10-1987; Ord. No. 08-97, § 1, eff. 3-28-1997; Ord. No. 01-99, § 1, eff. 3-5-1999; Ord. No. 03-00, § 1, eff. 3-31-2000; Ord. No. 16-10, § 1, eff. 9-2-2010; Ord. No. 14-11, § 1, eff. 8-9-2011; Ord. No. 01-16, § 1, eff. 2-2-2016; Ord. No. 08-18, § 1, 5-12-2018; Ord. No. 2021-20, § 1, eff. 9-9-2021; Ord. No. 2022-3, § 1, eff. 3-17-2022; Ord. No. 2022-4, § 1, eff. 3-18-2022; Ord. No. 2023-44, § 1, eff. 12-13-2023)
(Code 1936; Code 1945; Code 1954; Code 1964; Code 1984; Ord. No. 171-D, § 1, eff. 12-25-1940; Ord. No. 218-D, § 1, eff. 11-6-1941; Ord. No. 50-E, § 1, eff. 1-4-1946; Ord. No. 92-E, § 1, eff. 7-11-1946; Ord. No. 700-E, § 1, eff. 12-5-1952; Ord. No. 838-E, § 1, eff. 3-11-1954; Ord. No. 857-E, § 1, eff. 5-6-1954; Ord. No. 182-G, § 1, eff. 7-6-1966; Ord. No. 219-G, § 1, eff. 12-28-1966; Ord. No. 296-G, § 1, eff. 12-27-1967; Ord. No. 485-G, § 1, eff. 2-19-1970; Ord. No. 598-G, § 1, eff. 7-1-1971; Ord. No. 612-G, § 1, eff. 9-29-1971; Ord. No. 898-G, § 1, eff. 6-13-1974; Ord. No. 21-94, § 1, eff. 11-28-1994; Ord. No. 25-95, § 1, eff. 10-13-1995; Ord. No. 26-95, § 1, eff. 10-13-1995; Ord. No. 08-96, § 1, eff. 4-29-1996; Ord. No. 14-04, § 1, eff. 4-16-2004)
(Code 1936; Code 1945; Code 1954; Code 1964; Code 1984; Ord. No. 171-D, § 1, eff. 12-25-1940; Ord. No. 413-D, § 1, eff. 8-31-1944; Ord. No. 70-E, § 1, eff. 4-11-1946; Ord. No. 411-E, § 1, eff. 3-9-1950; Ord. No. 608-E, § 1, eff. 1-25-1952; Ord. No. 783-E, § 1, eff. 9-17-1953; Ord. No. 100-F, § 1, eff. 3-15-1956; Ord. No. 114-F, § 1, eff. 5-17-1956; Ord. No. 209-F, § 1, eff. 7-18-1957; Ord. No. 521-F, § 1, eff. 10-6-1960; Ord. No. 573-F, § 1, eff. 6-22-1961; Ord. No. 652-F, § 1, eff. 1-28-1962; Ord. No. 786-F, § 1, eff. 5-29-1963; Ord. No. 51-G, § 1, eff. 2-25-1965; Ord. No. 109-G, § 1, eff. 9-2-1965; Ord. No. 144-G, § 1, eff. 1-30-1966; Ord. No. 188-G, § 1, eff. 7-13-1966; Ord. No. 374-G, § 1, eff. 11-3-1968; Ord. No. 486-G, § 1, eff. 2-19-1970; Ord. No. 563-G, § 1, eff. 2-24-1971; Ord. No. 574-G, § 1, eff. 4-8-1971; Ord. No. 578-G, § 1, eff. 5-5-1971; Ord. No. 787-G, § 1, eff. 2-9-1973; Ord. No. 837-G, § 1, eff. 8-2-1973; Ord. No. 922-G, § 1, eff. 8-1-1974; Ord. No. 358-H, § 1, eff. 12-11-1979; Ord. No. 30-16, § 1, eff. 9-6-2016; Ord. No. 01-18, § 1, eff. 3-10-2018; Ord. No. 09-18, § 1, eff. 5-12-2018; Ord. No. 2023-20, § 1, eff. 5-30-2023)
(Code 1936; Code 1945; Code 1954; Code 1964; Code 1984; Ord. No. 171-D, § 1, eff. 12-25-1940; Ord. No. 191-D, § 1, eff. 5-14-1941; Ord. No. 80-E, § 1, eff. 5-16-1946; Ord. No. 333-F, § 1, eff. 10-30-1958; Ord. No. 550-G, § 1, eff. 12-9-1970; Ord. No. 763-G, § 1, eff. 12-6-1972; Ord. No. 27-02, § 1, eff. 12-19-2002)
(Code 1936; Code 1945; Code 1954; Code 1964; Code 1984; Ord. No. 171-D, § 1, eff. 12-25-1940; Ord. No. 218-D, § 1, eff. 11-6-1941; Ord. No. 837-G, § 1, eff. 8-2-1973; Ord. No. 243-H, § 1, eff. 5-25-1978; Ord. No. 04-90, § 1, eff. 3-23-1990; Ord. No. 28-95, § 1, eff. 10-23-1995; Ord. No. 10-17, § 1, eff. 6-3-2017; Ord. No. 2021-2, § 1, eff. 2-11-2021)
(Code 1936; Code 1945; Code 1954; Code 1964; Code 1984; Ord. No. 171-D, § 1, eff. 12-25-1940; Ord. No. 218-D, § 1, eff. 11-6-1941; Ord. No. 591-E, § 1, eff. 10-11-1951; Ord. No. 233-G, § 1, eff. 3-8-1967; Ord. No. 455-G, § 1, eff. 9-3-1969; Ord. No. 458-G, § 1, eff. 10-2-1969; Ord. No. 11-85, § 1, eff. 3-27-1985)
(Code 1936; Code 1945; Code 1954; Code 1964; Code 1984; Ord. No. 171-D, § 1, eff. 12-25-1940; Ord. No. 418-D, § 1, eff. 9-14-1944; Ord. No. 54-E, § 1, eff. 2-7-1946; Ord. No. 92-E, § 1, eff. 7-11-1946; Ord. No. 108-E, § 1, eff. 10-10-1946; Ord. No. 187-E, § 1, eff. 9-4-1947; Ord. No. 214-E, § 1, eff. 1-1-1948; Ord. No. 600-E, § 1, eff. 11-22-1951; Ord. No. 141-F, § 1, eff. 8-30-1956; Ord. No. 648-F, § 1, eff. 1-28-1962; Ord. No. 162-G, § 1, eff. 4-13-1966; Ord. No. 226-G, § 1, eff. 1-26-1967; Ord. No. 420-G, § 1, eff. 5-7-1969; Ord. No. 468-G, § 1, eff. 11-19-1969; Ord. No. 649-G, § 1, eff. 2-24-1972; Ord. No. 854-G, § 1, eff. 11-7-1973; Ord. No. 422-H, § 1, eff. 1-27-1981; Ord. No. 518-H, § 1, eff. 10-29-1982; Ord. No. 12-02, § 1, eff. 8-23-2002; Ord. No. 27-15, § 1, eff. 11-28-2015; Ord. No. 12-18, § 1, eff. 6-29-2018; Ord. No. 2021-11, § 1, eff. 4-9-2021)
(Code 1936; Code 1945; Code 1954; Code 1964; Code 1984; Ord. No. 171-D, § 1, eff. 12-25-1940; Ord. No. 193-E, § 1, eff. 10-9-1947; Ord. No. 475-E, § 1, eff. 8-31-1950; Ord. No. 674-E, § 1, eff. 9-4-1952; Ord. No. 833-E, § 1, eff. 2-25-1954; Ord. No. 903-E, § 1, eff. 9-30-1954; Ord. No. 297-F, § 1, eff. 7-3-1958; Ord. No. 356-F, § 1, eff. 2-22-1959; Ord. No. 583-F, § 1, eff. 7-20-1961; Ord. No. 611-F, § 1, eff. 10-26-1961; Ord. No. 146-G, § 1, eff. 2-23-1966; Ord. No. 456-G, § 1, eff. 9-10-1969; Ord. No. 729-G, § 1, eff. 10-26-1972; Ord. No. 737-G, § 1, eff. 11-11-1972; Ord. No. 221-H, § 1, eff. 1-20-1978; Ord. No. 37-16, § 1, eff. 12-20-2016; Ord. No. 2019-40, § 1, eff. 12-26-2019)
(Code 1936; Code 1945; Code 1954; Code 1964; Code 1984; Ord. No. 171-D, § 1, eff. 12-25-1940; Ord. No. 218-D, § 1, eff. 11-6-1941; Ord. No. 538-E, § 1, eff. 3-22-1951; Ord. No. 549-F, § 1, eff. 3-9-1961; Ord. No. 645-G, § 1, eff. 2-16-1972; Ord. No. 714-G, § 1, eff. 8-31-1972; Ord. No. 25-97, § 1, eff. 7-18-1997)
(Code 1936; Code 1945; Code 1954; Code 1964; Code 1984; Ord. No. 171-D, § 1, eff. 12-25-1940; Ord. No. 109-E, § 1, eff. 10-17-1946; Ord. No. 294-E, § 1, eff. 1-26-1949; Ord. No. 310-E, § 1, eff. 3-24-1949; Ord. No. 417-E, § 1, eff. 3-23-1950; Ord. No. 419-E, § 1, eff. 3-23-1950; Ord. No. 424-E, § 1, eff. 4-13-1950; Ord. No. 438-E, § 1, eff. 5-25-1950; Ord. No. 485-E, § 1, eff. 9-28-1950; Ord. No. 508-E, § 1, eff. 11-16-1950; Ord. No. 563-E, § 1, eff. 6-28-1951; Ord. No. 601-E, § 1, eff. 11-29-1951; Ord. No. 609-E, § 1, eff. 1-25-1952; Ord. No. 774-E, § 1, eff. 8-14-1953; Ord. No. 788-E, § 1, eff. 9-4-1953; Ord. No. 165-F, § 1, eff. 11-1-1956; Ord. No. 197-F, § 1, eff. 5-9-1957; Ord. No. 237-F, § 1, eff. 11-7-1957; Ord. No. 375-F, § 1, eff. 4-30-1959; Ord. No. 498-F, § 1, eff. 7-7-1960; Ord. No. 670-F, § 1, eff. 3-29-1962; Ord. No. 728-F, § 1, eff. 9-20-1962; Ord. No. 117-G, § 1, eff. 9-23-1965; Ord. No. 222-G, § 1, eff. 1-11-1967; Ord. No. 235-G, § 1, eff. 3-22-1967; Ord. No. 268-G, § 1, eff. 8-10-1967; Ord. No. 464-G, § 1, eff. 10-29-1969; Ord. No. 581-G, § 1, eff. 4-15-1971; Ord. No. 691-G, § 1, eff. 7-6-1972; Ord. No. 04-02, § 1, eff. 5-13-2002; Ord. No. 14-04, § 1, eff. 4-16-2004; Ord. No. 03-08, § 1, eff. 2-8-2008; Ord. No. 2023-13, § 1, eff. 4-21-2023)
(Code 1936; Code 1945; Code 1954; Code 1964; Code 1984; Ord. No. 171-D, § 1, eff. 12-25-1940; Ord. No. 50-E, § 1, eff. 1-4-1946; Ord. No. 181-E, § 1, eff. 9-17-1947; Ord. No. 467-E, § 1, eff. 8-4-1950; Ord. No. 619-E, § 1, eff. 2-21-1952; Ord. No. 673-E, § 1, eff. 10-2-1952; Ord. No. 42-F, § 1, eff. 8-4-1955; Ord. No. 57-F, § 1, eff. 10-13-1955; Ord. No. 101-F, § 1, eff. 3-1-1956; Ord. No. 135-F, § 1, eff. 8-9-1956; Ord. No. 377-G, § 1, eff. 11-6-1968; Ord. No. 413-G, § 1, eff. 4-9-1969; Ord. No. 12-13, § 1, eff. 5-31-2013; Ord. No. 2021-51, § 1, eff. 12-15-2021)
(Code 1936; Code 1945; Code 1954; Code 1964; Code 1984; Ord. No. 171-D, § 1, eff. 12-25-1940; Ord. No. 218-D, § 1, eff. 11-6-1941; Ord. No. 330-D, § 1, eff. 6-8-1943; Ord. No. 436-D, § 1, eff. 11-23-1944; Ord. No. 440-D, § 1, eff. 12-14-1944; Ord. No. 299-E, § 1, eff. 2-17-1949; Ord. No. 335-E, § 1, eff. 6-30-1949; Ord. No. 342-E, § 1, eff. 7-28-1949; Ord. No. 373-E, § 1, eff. 11-3-1949; Ord. No. 426-E, § 1, eff. 4-27-1950; Ord. No. 513-E, § 1, eff. 11-23-1950; Ord. No. 659-E, § 1, eff. 7-10-1952; Ord. No. 42-F, § 1, eff. 8-4-1955; Ord. No. 74-F, § 1, eff. 12-15-1955; Ord. No. 99-F, § 1, eff. 3-15-1956; Ord. No. 221-F, § 1, eff. 8-29-1957; Ord. No. 446-F, § 1, eff. 1-28-1960; Ord. No. 512-F, § 1, eff. 8-25-1960; Ord. No. 554-F, § 1, eff. 3-23-1961; Ord. No. 607-F, § 1, eff. 10-19-1961; Ord. No. 619-F, § 1, eff. 11-22-1961; Ord. No. 623-F, § 1, eff. 12-6-1961; Ord. No. 642-F, § 1, eff. 1-25-1962; Ord. No. 729-F, § 1, eff. 8-28-1962; Ord. No. 50-G, § 1, eff. 2-15-1965; Ord. No. 116-G, § 1, eff. 9-23-1965; Ord. No. 191-G, § 1, eff. 8-4-1966; Ord. No. 457-G, § 1, eff. 9-14-1969; Ord. No. 522-G, § 1, eff. 9-24-1970; Ord. No. 613-G, § 1, eff. 10-14-1971; Ord. No. 762-G, § 1, eff. 11-9-1972; Ord. No. 451-H, § 1, eff. 8-15-1981; Ord. No. 22-91, § 1, eff. 8-13-1991; Ord. No. 12-13, § 1, eff. 5-31-2013; Ord. No. 06-19, § 1, eff. 6-7-2019)
(Code 1936; Code 1945; Code 1954; Code 1964; Code 1984; Ord. No. 171-D, § 1, eff. 12-25-1940; Ord. No. 274-D, § 1, eff. 8-5-1942; Ord. No. 437-D, § 1, eff. 11-23-1944; Ord. No. 215-E, § 1, eff. 1-1-1948; Ord. No. 359-E, § 1, eff. 9-14-1949; Ord. No. 360-E, § 1, eff. 9-22-1949; Ord. No. 556-E, § 1, eff. 6-14-1951; Ord. No. 810-E, § 1, eff. 12-24-1953; Ord. No. 817-E, § 1, eff. 1-29-1954; Ord. No. 21-F, § 1, eff. 5-27-1955; Ord. No. 25-F, § 1, eff. 5-6-1955; Ord. No. 80-F, § 1, eff. 12-29-1955; Ord. No. 91-F, § 1, eff. 2-23-1956; Ord. No. 538-F, § 1, eff. 12-15-1960; Ord. No. 653-F, § 1, eff. 2-15-1962; Ord. No. 697-F, § 1, eff. 5-24-1962; Ord. No. 118-G, § 1, eff. 9-23-1965; Ord. No. 288-G, § 1, eff. 12-7-1967; Ord. No. 350-G, § 1, eff. 9-1-1968; Ord. No. 376-G, § 1, eff. 11-6-1968; Ord. No. 470-G, § 1, eff. 11-23-1969; Ord. No. 566-G, § 1, eff. 3-4-1971; Ord. No. 628-G, § 1, eff. 11-25-1971; Ord. No. 769-G, § 1, eff. 12-13-1972; Ord. No. 13-03, § 1, eff. 6-27-2003)
(Code 1936; Code 1945; Code 1954; Code 1964; Code 1984; Ord. No. 171-D, § 1, eff. 12-25-1940; Ord. No. 195-D, § 1, eff. 5-21-1941; Ord. No. 78-E, § 1, eff. 5-16-1946; Ord. No. 402-E, § 1, eff. 1-20-1950; Ord. No. 498-E, § 1, eff. 10-19-1950; Ord. No. 722-E, § 1, eff. 3-18-1953; Ord. No. 782-E, § 1, eff. 9-17-1953; Ord. No. 884-E, § 1, eff. 8-12-1954; Ord. No. 931-E, § 1, eff. 1-21-1955; Ord. No. 102-F, § 1, eff. 3-29-1956; Ord. No. 326-F, § 1, eff. 9-25-1958; Ord. No. 355-F, § 1, eff. 2-19-1959; Ord. No. 404-F, § 1, eff. 10-1-1959; Ord. No. 698-F, § 1, eff. 6-21-1962; Ord. No. 593-G, § 1, eff. 7-1-1971; Ord. No. 628-G, § 1, eff. 11-25-1971; Ord. No. 326-H, § 1, eff. 6-8-1979; Ord. No. 03-88, § 1, eff. 2-19-1988; Ord. No. 14-92, § 1, eff. 8-7-1992; Ord. No. 09-94, § 1, eff. 4-15-1994; Ord. No. 39-98, § 1, eff. 11-13-1998; Ord. No. 10-08, § 1, eff. 5-28-2008; Ord. No. 2021-14, § 1, eff. 4-17-2021)
(Code 1936; Code 1945; Code 1954; Code 1964; Code 1984; Ord. No. 171-D, § 1, eff. 12-25-1940; Ord. No. 228-D, § 1, eff. 12-12-1941; Ord. No. 311-E, § 1, eff. 4-7-1949; Ord. No. 357-E, § 1, eff. 9-8-1949; Ord. No. 637-E, § 1, eff. 6-5-1952; Ord. No. 924-E, § 1, eff. 12-16-1954; Ord. No. 69-F, § 1, eff. 11-16-1955; Ord. No. 72-F, § 1, eff. 12-15-1955; Ord. No. 85-F, § 1, eff. 1-26-1956; Ord. No. 137-F, § 1, eff. 8-23-1956; Ord. No. 543-F, § 1, eff. 2-2-1961; Ord. No. 620-F, § 1, eff. 11-22-1961; Ord. No. 502-G, § 1, eff. 6-11-1970; Ord. No. 566-G, § 1, eff. 3-4-1971; Ord. No. 628-G, § 1, eff. 11-25-1971; Ord. No. 11-96, § 1, eff. 6-19-1996; Ord. No. 07-15, § 1, eff. 4-15-2015; Ord. No. 11-16, § 1, eff. 5-5-2016; Ord. No. 2020-29, § 1, eff. 8-29-2020)
(Code 1936; Code 1945; Code 1954; Code 1964; Code 1984; Ord. No. 171-D, § 1, eff. 12-25-1940; Ord. No. 250-D, § 1, eff. 5-7-1942; Ord. No. 98-E, § 1, eff. 8-1-1946; Ord. No. 228-E, § 1, eff. 4-1-1948; Ord. No. 412-F, § 1, eff. 10-14-1959; Ord. No. 263-G, § 1, eff. 7-12-1967; Ord. No. 325-G, § 1, eff. 5-29-1968; Ord. No. 326-G, § 1, eff. 6-20-1968; Ord. No. 597-G, § 1, eff. 9-8-1971; Ord. No. 628-G, § 1, eff. 11-25-1971; Ord. No. 728-G, § 1, eff. 10-18-1972; Ord. No. 20-92, § 1, eff. 8-24-1992; Ord. No. 21-92, § 1, eff. 8-24-1992; Ord. No. 27-16, § 1, eff. 8-12-2016)
(Code 1936; Code 1945; Code 1954; Code 1964; Code 1984; Ord. No. 171-D, § 1, eff. 12-25-1940; Ord. No. 274-D, § 1, eff. 8-5-1942; Ord. No. 351-D, § 1, eff. 10-22-1943; Ord. No. 114-E, § 1, eff. 11-28-1946; Ord. No. 196-E, § 1, eff. 10-30-1947; Ord. No. 298-E, § 1, eff. 2-17-1949; Ord. No. 361-E, § 1, eff. 9-23-1949; Ord. No. 726-E, § 1, eff. 3-26-1953; Ord. No. 727-E, § 1, eff. 3-5-1953; Ord. No. 848-E, § 1, eff. 4-1-1954; Ord. No. 85-F, § 1, eff. 1-26-1956; Ord. No. 87-F, § 1, eff. 1-26-1956; Ord. No. 145-F, § 1, eff. 8-29-1956; Ord. No. 159-F, § 1, eff. 10-4-1956; Ord. No. 600-F, § 1, eff. 9-21-1961; Ord. No. 776-F, § 1, eff. 4-15-1963; Ord. No. 792-F, § 1, eff. 7-4-1963; Ord. No. 204-G, § 1, eff. 10-19-1966; Ord. No. 366-G, § 1, eff. 10-9-1968; Ord. No. 503-G, § 1, eff. 6-11-1970; Ord. No. 628-G, § 1, eff. 11-25-1971; Ord. No. 8-H, § 1, eff. 11-8-1974; Ord. No. 15-97, § 1, eff. 5-29-1997; Ord. No. 28-07, § 1, eff. 8-10-2007; Ord. No. 08-14, § 1, eff. 6-6-2014; Ord. No. 2023-37, § 1, eff. 11-25-2023)
(Code 1936; Code 1945; Code 1954; Code 1964; Code 1984; Ord. No. 171-D, § 1, eff. 12-25-1940; Ord. No. 327-D, § 1, eff. 5-26-1943; Ord. No. 365-D, § 1, eff. 2-24-1944; Ord. No. 2-E, § 1, eff. 3-1-1945; Ord. No. 771-E, § 1, eff. 8-6-1953; Ord. No. 289-F, § 1, eff. 6-5-1958; Ord. No. 436-F, § 1, eff. 12-3-1959; Ord. No. 16-G, § 1, eff. 12-4-1964; Ord. No. 628-G, § 1, eff. 11-25-1971; Ord. No. 27-04, § 1, eff. 8-10-2004; Ord. No. 40-04, § 1, eff. 11-29-2004)
(Code 1936; Code 1945; Code 1954; Code 1964; Code 1984; Ord. No. 171-D, § 1, eff. 12-25-1940; Ord. No. 259-D, § 1, eff. 6-10-1942; Ord. No. 387-D, § 1, eff. 7-7-1944; Ord. No. 21-E, § 1, eff. 6-7-1945; Ord. No. 306-E, § 1, eff. 3-17-1949; Ord. No. 331-E, § 1, eff. 6-16-1949; Ord. No. 338-E, § 1, eff. 7-21-1949; Ord. No. 350-E, § 1, eff. 8-17-1949; Ord. No. 432-E, § 1, eff. 5-11-1950; Ord. No. 646-E, § 1, eff. 7-3-1952; Ord. No. 109-F, § 1, eff. 5-3-1956; Ord. No. 438-F, § 1, eff. 12-31-1959; Ord. No. 548-F, § 1, eff. 3-9-1961; Ord. No. 778-F, § 1, eff. 5-2-1963; Ord. No. 65-G, § 1, eff. 4-14-1965; Ord. No. 86-G, § 1, eff. 6-27-1965; Ord. No. 167-G, § 1, eff. 5-25-1966; Ord. No. 280-G, § 1, eff. 10-19-1967; Ord. No. 590-G, § 1, eff. 6-23-1971; Ord. No. 628-G, § 1, eff. 11-25-1971; Ord. No. 30-07, § 1, eff. 10-24-2007; Ord. No. 21-19, § 1, eff. 8-6-2019; Ord. No. 2020-41, § 1, eff. 12-10-2020)
(Code 1936; Code 1945; Code 1954; Code 1964; Code 1984; Ord. No. 171-D, § 1, eff. 12-25-1940; Ord. No. 192-D, § 1, eff. 5-14-1941; Ord. No. 303-D, § 1, eff. 3-3-1943; Ord. No. 165-E, § 1, eff. 8-14-1947; Ord. No. 232-E, § 1, eff. 4-21-1948; Ord. No. 253-E, § 1, eff. 7-15-1948; Ord. No. 260-E, § 1, eff. 8-19-1948; Ord. No. 331-E, § 1, eff. 6-16-1949; Ord. No. 383-E, § 1, eff. 11-17-1949; Ord. No. 533-E, § 1, eff. 2-15-1951; Ord. No. 797-E, § 1, eff. 10-8-1953; Ord. No. 808-E, § 1, eff. 12-24-1953; Ord. No. 52-F, § 1, eff. 9-1-1955; Ord. No. 259-F, § 1, eff. 1-17-1958; Ord. No. 438-F, § 1, eff. 12-31-1959; Ord. No. 468-F, § 1, eff. 4-14-1960; Ord. No. 483-F, § 1, eff. 6-2-1960; Ord. No. 486-F, § 1, eff. 6-9-1960; Ord. No. 604-F, § 1, eff. 10-5-1961; Ord. No. 621-F, § 1, eff. 11-30-1961; Ord. No. 646-F, § 1, eff. 1-28-1962; Ord. No. 692-F, § 1, eff. 5-17-1962; Ord. No. 766-F, § 1, eff. 3-6-1963; Ord. No. 64-G, § 1, eff. 4-14-1965; Ord. No. 269-G, § 1, eff. 8-10-1967; Ord. No. 347-G, § 1, eff. 8-29-1968; Ord. No. 504-G, § 1, eff. 6-11-1970; Ord. No. 628-G, § 1, eff. 11-25-1971; Ord. No. 727-G, § 1, eff. 10-11-1972; Ord. No. 8-H, § 1, eff. 11-8-1974; Ord. No. 70-H, § 1, eff. 11-14-1975; Ord. No. 566-H, § 1, eff. 11-10-1983; Ord. No. 11-09, § 1, eff. 8-14-2009; Ord. No. 31-13, § 1, eff. 12-21-2013; Ord. No. 19-15, § 1, eff. 10-7-2015)
(Code 1936; Code 1945; Code 1954; Code 1964; Code 1984; Ord. No. 171-D, § 1, eff. 12-25-1940; Ord. No. 221-D, § 1, eff. 11-20-1941; Ord. No. 259-D, § 1, eff. 6-10-1942; Ord. No. 273-D, § 1, eff. 7-29-1942; Ord. No. 367-D, § 1, eff. 3-9-1944; Ord. No. 32-E, § 1, eff. 8-16-1945; Ord. No. 233-E, § 1, eff. 4-21-1948; Ord. No. 346-E, § 1, eff. 8-11-1949; Ord. No. 362-E, § 1, eff. 9-30-1949; Ord. No. 918-E, § 1, eff. 11-25-1954; Ord. No. 70-F, § 1, eff. 11-24-1955; Ord. No. 115-F, § 1, eff. 5-17-1956; Ord. No. 132-F, § 1, eff. 8-2-1956; Ord. No. 230-F, § 1, eff. 10-3-1957; Ord. No. 377-F, § 1, eff. 4-30-1959; Ord. No. 845-F, § 1, eff. 4-9-1964; Ord. No. 628-G, § 1, eff. 11-25-1971; Ord. No. 652-G, § 1, eff. 3-2-1972; Ord. No. 113-H, § 1, eff. 6-11-1976; Ord. No. 149-H, § 1, eff. 10-31-1976; Ord. No. 274-H, § 1, eff. 9-6-1978; Ord. No. 456-H, § 1, eff. 7-21-1981; Ord. No. 04-94, § 1, eff. 2-4-1994; Ord. No. 02-95, § 1, eff. 2-17-1995; Ord. No. 40-98, § 1, eff. 12-3-1998; Ord. No. 30-03, § 1, eff. 8-20-2003; Ord. No. 29-06, § 1, eff. 9-26-2006; Ord. No. 06-16, § 1, eff. 4-20-2016; Ord. No. 15-16, § 1, eff. 5-18-2016)
(Code 1936; Code 1945; Code 1954; Code 1964; Code 1984; Ord. No. 171-D, § 1, eff. 12-25-1940; Ord. No. 202-D, § 1, eff. 7-16-1941; Ord. No. 203-D, § 1, eff. 7-16-1941; Ord. No. 259-D, § 1, eff. 6-10-1942; Ord. No. 273-D, § 1, eff. 7-29-1942; Ord. No. 277-D, § 1, eff. 8-19-1942; Ord. No. 363-D, § 1, eff. 1-27-1944; Ord. No. 429-D, § 1, eff. 10-12-1944; Ord. No. 436-D, § 1, eff. 11-23-1944; Ord. No. 47-E, § 1, eff. 12-28-1945; Ord. No. 61-E, § 1, eff. 3-14-1946; Ord. No. 109-E, § 1, eff. 10-17-1946; Ord. No. 346-E, § 1, eff. 8-11-1949; Ord. No. 362-E, § 1, eff. 9-30-1949; Ord. No. 610-E, § 1, eff. 1-25-1952; Ord. No. 637-E, § 1, eff. 6-5-1952; Ord. No. 702-E, § 1, eff. 12-12-1952; Ord. No. 68-F, § 1, eff. 11-16-1955; Ord. No. 149-F, § 1, eff. 9-6-1956; Ord. No. 283-F, § 1, eff. 5-1-1958; Ord. No. 363-F, § 1, eff. 3-15-1959; Ord. No. 391-F, § 1, eff. 7-16-1959; Ord. No. 392-F, § 1, eff. 7-16-1959; Ord. No. 398-F, § 1, eff. 8-6-1959; Ord. No. 423-F, § 1, eff. 11-12-1959; Ord. No. 506-F, § 1, eff. 7-28-1960; Ord. No. 716-F, § 1, eff. 8-23-1962; Ord. No. 750-F, § 1, eff. 12-26-1962; Ord. No. 378-G, § 1, eff. 11-13-1968; Ord. No. 505-G, § 1, eff. 6-11-1970; Ord. No. 628-G, § 1, eff. 11-25-1971; Ord. No. 433-H, § 1, eff. 4-17-1981; Ord. No. 13-95, § 1, eff. 7-3-1995; Ord. No. 35-95, § 1, eff. 11-29-1995; Ord. No. 11-16, § 1, eff. 5-5-2016)
(Code 1936; Code 1945; Code 1954; Code 1964; Code 1984; Ord. No. 171-D, § 1, eff. 12-25-1940; Ord. No. 218-D, § 1, eff. 11-6-1941; Ord. No. 249-D, § 1, eff. 5-7-1942; Ord. No. 273-D, § 1, eff. 7-29-1942; Ord. No. 26-E, § 1, eff. 7-19-1945; Ord. No. 92-E, § 1, eff. 7-11-1946; Ord. No. 151-E, § 1, eff. 5-29-1947; Ord. No. 197-E, § 1, eff. 10-30-1947; Ord. No. 337-E, § 1, eff. 7-14-1949; Ord. No. 355-E, § 1, eff. 8-25-1949; Ord. No. 372-E, § 1, eff. 11-3-1949; Ord. No. 598-E, § 1, eff. 11-1-1951; Ord. No. 802-E, § 1, eff. 11-26-1953; Ord. No. 880-E, § 1, eff. 7-29-1954; Ord. No. 294-F, § 1, eff. 5-30-1958; Ord. No. 441-F, § 1, eff. 1-15-1960; Ord. No. 777-F, § 1, eff. 4-25-1963; Ord. No. 156-G, § 1, eff. 3-30-1966; Ord. No. 216-G, § 1, eff. 12-14-1966; Ord. No. 315-G, § 1, eff. 3-27-1968; Ord. No. 322-G, § 1, eff. 5-8-1968; Ord. No. 607-G, § 1, eff. 9-16-1971; Ord. No. 628-G, § 1, eff. 11-25-1971; Ord. No. 113-H, § 1, eff. 6-11-1976; Ord. No. 06-90, § 1, eff. 6-15-1990; Ord. No. 12-10, § 1, eff. 8-17-2010; Ord. No. 13-10, § 1, eff. 8-17-2010)
(Code 1936; Code 1945; Code 1954; Code 1964; Code 1984; Ord. No. 171-D, § 1, eff. 12-25-1940; Ord. No. 218-D, § 1, eff. 11-6-1941; Ord. No. 273-D, § 1, eff. 7-29-1942; Ord. No. 70-E, § 1, eff. 4-11-1946; Ord. No. 79-E, § 1, eff. 5-16-1946; Ord. No. 151-E, § 1, eff. 5-29-1947; Ord. No. 152-E, § 1, eff. 5-29-1947; Ord. No. 169-E, § 1, eff. 8-21-1947; Ord. No. 355-E, § 1, eff. 8-25-1949; Ord. No. 472-E, § 1, eff. 8-16-1950; Ord. No. 487-E, § 1, eff. 9-7-1950; Ord. No. 657-E, § 1, eff. 7-24-1952; Ord. No. 880-E, § 1, eff. 7-29-1954; Ord. No. 92-F, § 1, eff. 2-23-1956; Ord. No. 312-F, § 1, eff. 7-31-1958; Ord. No. 349-G, § 1, eff. 9-1-1968; Ord. No. 614-G, § 1, eff. 10-14-1971; Ord. No. 628-G, § 1, eff. 11-25-1971; Ord. No. 533-H, § 1, eff. 12-21-1982; Ord. No. 20-95, § 1, eff. 8-11-1995; Ord. No. 2023-30, § 1, eff. 10-4-2023)
(Code 1936; Code 1945; Code 1954; Code 1964; Code 1984; Ord. No. 171-D, § 1, eff. 12-25-1940; Ord. No. 49-E, § 1, eff. 12-28-1945; Ord. No. 156-E, § 1, eff. 6-12-1947; Ord. No. 161-E, § 1, eff. 6-26-1947; Ord. No. 224-E, § 1, eff. 2-4-1948; Ord. No. 246-E, § 1, eff. 7-1-1948; Ord. No. 296-E, § 1, eff. 2-10-1949; Ord. No. 332-E, § 1, eff. 6-23-1949; Ord. No. 358-E, § 1, eff. 9-8-1949; Ord. No. 368-E, § 1, eff. 10-27-1949; Ord. No. 371-E, § 1, eff. 11-3-1949; Ord. No. 395-E, § 1, eff. 12-22-1949; Ord. No. 414-E, § 1, eff. 3-16-1950; Ord. No. 456-E, § 1, eff. 7-6-1950; Ord. No. 236-F, § 1, eff. 11-7-1957; Ord. No. 382-F, § 1, eff. 4-30-1959; Ord. No. 388-F, § 1, eff. 7-2-1959; Ord. No. 413-F, § 1, eff. 10-8-1959; Ord. No. 680-F, § 1, eff. 4-26-1962; Ord. No. 175-G, § 1, eff. 6-30-1966; Ord. No. 194-G, § 1, eff. 8-17-1966; Ord. No. 228-G, § 1, eff. 1-26-1967; Ord. No. 266-G, § 1, eff. 7-7-1967; Ord. No. 282-G, § 1, eff. 11-2-1967; Ord. No. 308-G, § 1, eff. 1-4-1968; Ord. No. 310-G, § 1, eff. 2-14-1968; Ord. No. 324-G, § 1, eff. 5-8-1968; Ord. No. 404-G, § 1, eff. 3-19-1969; Ord. No. 677-G, § 1, eff. 5-10-1972; Ord. No. 10-98, § 1, eff. 4-17-1998; Ord. No. 12-16, § 1, eff. 5-14-2016)
(Code 1936; Code 1945; Code 1954; Code 1964; Code 1984; Ord. No. 171-D, § 1, eff. 12-25-1940; Ord. No. 238-D, § 1, eff. 1-28-1942; Ord. No. 50-E, § 1, eff. 1-4-1946; Ord. No. 107-E, § 1, eff. 10-3-1946; Ord. No. 109-E, § 1, eff. 10-17-1946; Ord. No. 126-E, § 1, eff. 1-2-1947; Ord. No. 155-E, § 1, eff. 6-12-1947; Ord. No. 162-E, § 1, eff. 6-26-1947; Ord. No. 198-E, § 1, eff. 10-30-1947; Ord. No. 210-E, § 1, eff. 12-25-1947; Ord. No. 217-E, § 1, eff. 1-15-1948; Ord. No. 218-E, § 1, eff. 1-15-1948; Ord. No. 261-E, § 1, eff. 8-19-1948; Ord. No. 645-E, § 1, eff. 7-3-1952; Ord. No. 683-E, § 1, eff. 10-31-1952; Ord. No. 687-E, § 1, eff. 11-27-1952; Ord. No. 688-E, § 1, eff. 11-27-1952; Ord. No. 196-F, § 1, eff. 5-2-1957; Ord. No. 318-F, § 1, eff. 9-4-1958; Ord. No. 516-F, § 1, eff. 9-8-1960; Ord. No. 542-F, § 1, eff. 2-2-1961; Ord. No. 582-F, § 1, eff. 7-13-1961; Ord. No. 672-F, § 1, eff. 3-29-1962; Ord. No. 170-G, § 1, eff. 5-5-1966; Ord. No. 223-G, § 1, eff. 1-11-1967; Ord. No. 295-G, § 1, eff. 12-21-1967; Ord. No. 151-H, § 1, eff. 10-24-1976; Ord. No. 37-97, § 1, eff. 10-31-1997; Ord. No. 12-13, § 1, eff. 5-31-2013; Ord. No. 06-14, § 1, eff. 5-6-2014; Ord. No. 10-16, § 1, eff. 5-5-2016; Ord. No. 43-16, § 1, eff. 3-3-2017; Ord. No. 2024-2, § 1, eff. 2-1-2024)
(Code 1936; Code 1945; Code 1954; Code 1964; Code 1984; Ord. No. 171-D, § 1, eff. 12-25-1940; Ord. No. 46-E, § 1, eff. 12-6-1945; Ord. No. 276-E, § 1, eff. 9-23-1948; Ord. No. 620-E, § 1, eff. 3-20-1952; Ord. No. 705-E, § 1, eff. 12-25-1952; Ord. No. 834-E, § 1, eff. 2-25-1954; Ord. No. 866-E, § 1, eff. 6-3-1954; Ord. No. 37-F, § 1, eff. 6-30-1955; Ord. No. 98-F, § 1, eff. 3-8-1956; Ord. No. 158-F, § 1, eff. 10-4-1956; Ord. No. 231-F, § 1, eff. 10-3-1957; Ord. No. 240-F, § 1, eff. 11-14-1957; Ord. No. 257-F, § 1, eff. 1-16-1958; Ord. No. 260-F, § 1, eff. 12-25-1957; Ord. No. 261-F, § 1, eff. 12-25-1957; Ord. No. 282-F, § 1, eff. 5-1-1958; Ord. No. 405-F, § 1, eff. 10-1-1959; Ord. No. 539-F, § 1, eff. 12-15-1960; Ord. No. 613-F, § 1, eff. 11-9-1961; Ord. No. 633-F, § 1, eff. 1-11-1962; Ord. No. 657-F, § 1, eff. 3-1-1962; Ord. No. 704-F, § 1, eff. 6-27-1962; Ord. No. 705-F, § 1, eff. 6-27-1962; Ord. No. 727-F, § 1, eff. 9-20-1962; Ord. No. 738-F, § 1, eff. 11-7-1962; Ord. No. 762-F, § 1, eff. 1-22-1963; Ord. No. 764-F, § 1, eff. 2-27-1963; Ord. No. 795-F, § 1, eff. 7-14-1963; Ord. No. 810-F, § 1, eff. 10-16-1963; Ord. No. 836-F, § 1, eff. 2-19-1964; Ord. No. 3-G, § 1, eff. 11-5-1964; Ord. No. 115-G, § 1, eff. 9-16-1965; Ord. No. 137-G, § 1, eff. 12-30-1965; Ord. No. 155-G, § 1, eff. 3-30-1966; Ord. No. 193-G, § 1, eff. 8-17-1966; Ord. No. 344-G, § 1, eff. 8-21-1968; Ord. No. 478-G, § 1, eff. 1-14-1970; Ord. No. 490-G, § 1, eff. 3-8-1970; Ord. No. 509-G, § 1, eff. 6-21-1970; Ord. No. 560-G, § 1, eff. 2-11-1971; Ord. No. 656-G, § 1, eff. 3-15-1972; Ord. No. 08-89, § 1, eff. 5-5-1989; Ord. No. 27-90, § 1, eff. 12-14-1990; Ord. No. 05-93, § 1, eff. 3-12-1993; Ord. No. 20-96, § 1, eff. 8-23-1996; Ord. No. 43-97, § 1, 12-19-1997; Ord. No. 27-98, § 1, eff. 10-5-1998; Ord. No. 21-99, § 1, eff. 8-3-1999; Ord. No. 27-99, § 1, eff. 8-13-1999; Ord. No. 27-00, § 1, eff. 12-31-2000; Ord. No. 44-04, § 1, eff. 1-24-2005; Ord. No. 08-07, § 1, eff. 4-17-2007; Ord. No. 07-09, § 1, eff. 7-15-2009; Ord. No. 32-15, § 1, eff. 1-28-2016)
(Code 1936; Code 1945; Code 1954; Code 1964; Code 1984; Ord. No. 171-D, § 1, eff. 12-25-1940; Ord. No. 250-D, § 1, eff. 5-7-1942; Ord. No. 166-E, § 1, eff. 8-14-1947; Ord. No. 219-E, § 1, eff. 1-23-1948; Ord. No. 220-E, § 1, eff. 1-23-1948; Ord. No. 222-E, § 1, eff. 1-29-1948; Ord. No. 283-E, § 1, eff. 10-28-1948; Ord. No. 364-E, § 1, eff. 10-13-1949; Ord. No. 384-E, § 1, eff. 11-17-1949; Ord. No. 408-E, § 1, eff. 2-23-1950; Ord. No. 422-E, § 1, eff. 3-30-1950; Ord. No. 480-E, § 1, eff. 9-14-1950; Ord. No. 570-E, § 1, eff. 7-19-1951; Ord. No. 666-E, § 1, eff. 8-28-1952; Ord. No. 737-E, § 1, eff. 5-14-1953; Ord. No. 816-E, § 1, eff. 1-21-1954; Ord. No. 845-E, § 1, eff. 3-25-1954; Ord. No. 846-E, § 1, eff. 3-25-1954; Ord. No. 905-E, § 1, eff. 9-30-1954; Ord. No. 917-E, § 1, eff. 10-28-1954; Ord. No. 108-F, § 1, eff. 4-19-1956; Ord. No. 125-F, § 1, eff. 6-14-1956; Ord. No. 138-F, § 1, eff. 8-23-1956; Ord. No. 139-F, § 1, eff. 7-27-1956; Ord. No. 414-F, § 1, eff. 11-19-1959; Ord. No. 678-F, § 1, eff. 4-5-1962; Ord. No. 684-F, § 1, eff. 4-29-1962; Ord. No. 9-G, § 1, eff. 11-11-1964; Ord. No. 250-G, § 1, eff. 4-28-1967; Ord. No. 675-G, § 1, eff. 5-4-1972; Ord. No. 419-H, § 1, eff. 12-26-1980; Ord. No. 06-95, § 1, eff. 5-1-1995; Ord. No. 02-98, § 1, eff. 2-13-1998)
(Code 1936; Code 1945; Code 1954; Code 1964; Code 1984; Ord. No. 171-D, § 1, eff. 12-25-1940; Ord. No. 94-E, § 1, eff. 7-25-1946; Ord. No. 140-E, § 1, eff. 4-17-1947; Ord. No. 281-E, § 1, eff. 10-7-1948; Ord. No. 391-E, § 1, eff. 12-29-1949; Ord. No. 486-E, § 1, eff. 9-28-1950; Ord. No. 622-E, § 1, eff. 4-10-1952; Ord. No. 46-F, § 1, eff. 8-11-1955; Ord. No. 150-F, § 1, eff. 8-16-1956; Ord. No. 184-F, § 1, eff. 3-7-1957; Ord. No. 376-F, § 1, eff. 4-30-1959; Ord. No. 437-F, § 1, eff. 12-31-1959; Ord. No. 465-F, § 1, eff. 3-17-1960; Ord. No. 685-F, § 1, eff. 4-29-1962; Ord. No. 781-F, § 1, eff. 5-8-1963; Ord. No. 52-G, § 1, eff. 2-25-1965; Ord. No. 122-G, § 1, eff. 10-14-1965; Ord. No. 145-G, § 1, eff. 2-23-1966; Ord. No. 331-G, § 1, eff. 7-11-1968; Ord. No. 596-G, § 1, eff. 7-15-1971; Ord. No. 122-H, § 1, eff. 7-10-1976; Ord. No. 331-H, § 1, eff. 7-13-1979; Ord. No. 370-H, § 1, eff. 3-12-1980; Ord. No. 461-H, § 1, eff. 9-16-1981; Ord. No. 10-90, § 1, eff. 7-27-1990; Ord. No. 29-00, § 1, eff. 12-8-2000; Ord. No. 29-07, § 1, eff. 10-24-2007; Ord. No. 03-19, § 1, eff. 5-22-2019; Ord. No. 2022-2, § 1, eff. 3-11-2022)
(Code 1936; Code 1945; Code 1954; Code 1964; Code 1984; Ord. No. 171-D, § 1, eff. 12-25-1940; Ord. No. 367-D, § 1, eff. 3-9-1944; Ord. No. 54-E, § 1, eff. 2-7-1946; Ord. No. 182-E, § 1, eff. 8-20-1947; Ord. No. 199-E, § 1, eff. 10-30-1947; Ord. No. 286-E, § 1, eff. 11-4-1948; Ord. No. 377-E, § 1, eff. 11-10-1949; Ord. No. 395-E, § 1, eff. 12-22-1949; Ord. No. 499-E, § 1, eff. 10-19-1950; Ord. No. 595-E, § 1, eff. 10-25-1951; Ord. No. 644-E, § 1, eff. 7-3-1952; Ord. No. 680-E, § 1, eff. 10-23-1952; Ord. No. 185-F, § 1, eff. 3-7-1957; Ord. No. 187-F, § 1, eff. 3-14-1957; Ord. No. 788-F, § 1, eff. 6-13-1963; Ord. No. 820-F, § 1, eff. 12-18-1963; Ord. No. 12-G, § 1, eff. 11-19-1964; Ord. No. 131-G, § 1, eff. 12-8-1965; Ord. No. 284-G, § 1, eff. 11-12-1967; Ord. No. 567-G, § 1, eff. 3-11-1971; Ord. No. 635-G, § 1, eff. 1-13-1972; Ord. No. 660-G, § 1, eff. 3-30-1972; Ord. No. 700-G, § 1, eff. 6-29-1972; Ord. No. 19-00, § 1, eff. 9-8-2000; Ord. No. 33-11, § 1, eff. 12-22-2011; Ord. No. 14-18, § 1, eff. 7-13-2018; Ord. No. 2022-1, § 1, eff. 3-11-2022)
(Code 1936; Code 1945; Code 1954; Code 1964; Code 1984; Ord. No. 171-D, § 1, eff. 12-25-1940; Ord. No. 274-D, § 1, eff. 8-5-1942; Ord. No. 200-E, § 1, eff. 10-30-1947; Ord. No. 201-E, § 1, eff. 10-30-1947; Ord. No. 209-E, § 1, eff. 12-25-1947; Ord. No. 234-E, § 1, eff. 4-21-1948; Ord. No. 254-E, § 1, eff. 7-15-1948; Ord. No. 543-E, § 1, eff. 3-29-1951; Ord. No. 807-E, § 1, eff. 12-17-1953; Ord. No. 868-E, § 1, eff. 6-3-1954; Ord. No. 24-F, § 1, eff. 5-6-1955; Ord. No. 43-F, § 1, eff. 8-4-1955; Ord. No. 816-F, § 1, eff. 12-5-1963; Ord. No. 172-G, § 1, eff. 6-10-1966; Ord. No. 525-G, § 1, eff. 9-30-1970; Ord. No. 371-H, § 1, eff. 3-12-1980; Ord. No. 372-H, § 1, eff. 3-12-1980; Ord. No. 02-96, § 1, eff. 3-4-1996)
(Code 1936; Code 1945; Code 1954; Code 1964; Code 1984; Ord. No. 171-D, § 1, eff. 12-25-1940; Ord. No. 107-E, § 1, eff. 10-3-1946; Ord. No. 847-E, § 1, eff. 4-1-1954; Ord. No. 124-G, § 1, eff. 11-6-1965; Ord. No. 294-G, § 1, eff. 12-21-1967; Ord. No. 74-H, § 1, eff. 1-11-1976; Ord. No. 371-H, § 1, eff. 3-12-1980)
(Code 1936; Code 1945; Code 1954; Code 1964; Code 1984; Ord. No. 171-D, § 1, eff. 12-25-1940; Ord. No. 282-D, § 1, eff. 9-30-1942; Ord. No. 344-D, § 1, eff. 8-11-1943; Ord. No. 6-E, § 1, eff. 3-29-1945; Ord. No. 378-E, § 1, eff. 11-10-1949; Ord. No. 512-E, § 1, eff. 11-23-1950; Ord. No. 590-E, § 1, eff. 10-4-1951; Ord. No. 707-E, § 1, eff. 1-8-1953; Ord. No. 724-E, § 1, eff. 3-18-1953; Ord. No. 651-F, § 1, eff. 1-28-1962; Ord. No. 751-F, § 1, eff. 12-26-1962; Ord. No. 350-G, § 1, eff. 9-1-1968; Ord. No. 159-H, § 1, eff. 11-17-1976; Ord. No. 189-H, § 1, eff. 7-6-1977; Ord. No. 375-H, § 1, eff. 3-12-1980; Ord. No. 443-H, § 1, eff. 5-25-1981; Ord. No. 448-H, § 1, eff. 7-6-1981; Ord. No. 484-H, § 1, eff. 2-26-1982; Ord. No. 546-H, § 1, eff. 3-4-1983; Ord. No. 30-97, § 1, eff. 8-12-1997; Ord. No. 03-01, § 1, eff. 3-26-2001; Ord. No. 18-10, § 1, eff. 10-27-2010; Ord. No. 23-19, § 1, eff. 8-9-2019)
(Code 1936; Code 1945; Code 1954; Code 1964; Code 1984; Ord. No. 171-D, § 1, eff. 12-25-1940; Ord. No. 558-E, § 1, eff. 6-21-1951; Ord. No. 55-G, § 1, eff. 3-17-1965; Ord. No. 312-G, § 1, eff. 2-28-1968; Ord. No. 472-G, § 1, eff. 12-10-1969; Ord. No. 777-G, § 1, eff. 2-1-1973; Ord. No. 159-H, § 1, eff. 11-17-1976; Ord. No. 189-H, § 1, eff. 7-6-1977; Ord. No. 375-H, § 1, eff. 3-12-1980; Ord. No. 2023-2, § 1, eff. 2-4-2023)