OVERLAY ZONES
The following are overlay zones, which provide supplemental regulations to the underlying zoning districts to achieve particular development objectives:
These provisions apply to all corridor overlays.
A.
Purpose. Corridor Overlay Zones are established to provide standards relative to accessibility, appearance and safety in the development of commercial, industrial, major residential subdivision, multi-family residential and office projects. Furthermore, the overlays provide a unified development that promotes a sense of place and provides opportunities to develop projects to be compatible with the carrying capacity of the corridor.
B.
Applicability. The standards that follow shall be applicable to any development which is located partially or completely within the boundaries established within the boundaries section of the corridor overlay. The terms corridor and overlay are used interchangeably throughout these regulations. There may be additional standards listed below in the specific corridor overlay.
1.
Any change of use that requires additional parking shall bring the entire parking lot into compliance with the parking lot standards of this overlay, including the landscaping.
2.
Multi-family development existing at the time of adoption of this overlay shall only adhere to the sign standards. No other sections shall apply.
3.
Single family is exempt, except for the Major residential subdivisions shall incorporate the perimeter landscaping, lighting, and signage requirements herein into the overall subdivision site design.
C.
Cost of modifications.
a)
Cost of modification shall be determined by the total permit value of all building permits over a rolling five (5) year time period.
b)
Permit values where interior and exterior values are broken out, only the exterior portion of the permit value shall count towards the cost of the modification. If the values are not separated the whole value of the permit shall count towards the cost.
i.
Expenses incurred for general maintenance and repair of water; sewer and electrical where no new expansion will occur does not count towards the cost of modification.
D.
Development and design requirements.
1.
Buildings.
a)
Roof. Roof mounted mechanical equipment shall be enclosed or screened to ensure that such features are not visible from beyond the property. Enclosures and screening shall be compatible to the architectural style of the proposed building;
Roof drains shall allow runoff to the required foundation landscaping specified below unless it is determined to be infeasible by the Horry County Stormwater Department.
b)
Materials. No portion of a building, excluding the roof, or canopy support column which is visible off the property shall be treated with smooth-faced concrete block, tilt-up concrete panels or prefabricated steel panels. Materials suitable for treating visible facades include, but are not limited to, brick, glass, synthetic clapboard siding (vinyl, metal or wood), split-face decorative block, stone, hardiplank siding or cementitious siding, or stucco; brushed, stamped or polished aluminum panels.
c)
Facade. Blank or uninterrupted building facades visible from the corridor shall be designed in a manner that reduces the building mass by breaking the facade into smaller segments. Design techniques that include repetitive features or similar architectural elements may be utilized to accomplish this.
2.
Lighting. These are general requirements; individual overlays may apply more restrictive requirements.
a)
Luminary heights shall not exceed thirty-five (35) feet except in the following cases:
b)
If a luminary is within fifty (50) feet of a residentially zoned parcel, the height of the luminary shall be no greater than eighteen (18) feet. The fixture cannot be located within the buffer and light must be directed back into the site.
3.
Pedestrian facilities.
a)
At least one (1) internal pedestrian walkway with a minimum width of five (5) feet shall be provided from the primary building entrance to the public sidewalk system to provide a reasonable direct path for entrance/exit. In the case of corner lots, a connection shall be made to the sidewalk of both streets. If no public sidewalk system exists adjacent to the property then the pedestrian access shall be constructed up to the right-of-way.
b)
Pedestrian pathways shall be constructed with asphalt, cement or other comparable material. All internal pedestrian walkways shall be distinguished from driving surface materials through the use of durable, low maintenance surface materials such as pavers, bricks, or scored/stamped concrete or asphalt to enhance pedestrian safety and comfort, as well as the attractiveness of the walkways (painted or striped crosswalks do not satisfy this requirement). Use of pervious materials is encouraged for pedestrian areas and facilities.
c)
A speed table or textured surfaces creating a rumble effect shall be required at high volume pedestrian crossings (where use generates above 2,000 ADT's).
d)
Pedestrian zones in front of commercial buildings, retail, commercial center and linear multi-entrance office. A pedestrian zone including sidewalks, landscape planters and amenities such as benches, fountains or public art shall be provided adjacent to the entrances of every retail or linear multi entrance office building in scale with the size of building. The width shall be no less than five (5) feet of walkable area. Said pedestrian zone can be located internal or external to the foundation landscaping requirement of this ordinance.
4.
Shipping/receiving areas, & utility location.
a)
Shipping docks shall locate such docks in the rear of the structure or within a shared service courtyard. Shared courtyards may be accessed from the front of the structure provided the entrance to such area is designed to blend into the architectural style of the structure and no docks are visible from the main corridor or adjacent parking areas.
b)
Utility services shall be located underground when possible. If underground utility location is not possible, above grade utilities shall be located behind structures in a utility "alley" easement approved by the applicable utility authority.
E.
Access management. To ensure that development within the overlay does not impact the carrying capacity or future improvement of the corridor, the following access management strategies shall be employed: a) parcels located at an intersection of the corridor and another improved public roadway shall only obtain access from the adjacent public roadway unless the parcel has adequate corridor frontage and driveway spacing to meet the access management requirements of the regulatory agency which maintains the right of way; and b) Shared access to serve adjacent parcels abutting the corridor is required for new lots where there is less frontage than required to obtain a separate standalone access to the corridor.
1.
Shared or joint access. Use of shared or joint access between two (2) or more properties is encouraged even for parcels that may meet the spacing and frontage requirement. Where a parcel uses such access the parking requirements for those adjacent uses may be reduced up to ten (10) percent for each business.
2.
Cross access. Cross-access easements shall be required on all parcels fronting the main corridor. A stub for future access shall be provided to all adjacent vacant land fronting the main corridor OR all adjacent vacant land zoned for commercial or multi-family uses.
a)
Cross access ways shall allow for two-way traffic between parcels through the use of a single drive aisle with a minimum width of twenty-two (22) feet or one-way aisles each with a minimum width of eleven (11) feet.
b)
The cross access standard may be waived by the planning department if the applicant demonstrates it is impractical to provide access due to;
i.
Topography and natural features.
ii.
Size and configuration of the site.
iii.
Vehicular safety factors.
iv.
Existing development patterns on adjacent developed sites that make cross access impossible.
v.
A cross access easement shall be recorded by the owner/developer prior to the issuance of zoning compliance.
3.
Change in use. Properties with access connections that do not meet the requirements of the overlay district shall be brought into compliance when required by the levels of modification table within this overlay or when there is a significant change in use of the property, including land, structures or facilities, resulting in an increase in the trip generation of the property exceeding twenty-five (25) percent (either peak hour or daily) and exceeding one hundred (100) vehicles per day.
4.
Driveway location and design.
a)
Driveways with more than one (1) entry and two (2) exit lane(s) shall incorporate above grade channelization features to separate the entry and exit sides of the driveway. Where above grade channelization impairs truck off tracking, said mechanism shall be setback from the right-of-way so as not to impede the necessary turning radius for safe truck off tracking.
Driveways shall be designed with adequate on-site storage for entering and exiting vehicles to reduce unsafe conflicts with through traffic or on-site traffic and to avoid congestion at the entrance. On site storage for entering and exiting vehicles shall be buffered from the parking area by curbing or other means.
b)
Parking lot access. Parking lots that directly access the corridor or a frontage roadway shall:
i.
Be designed to ensure that entering vehicles maintain a travel speed of 15 mph to assist in reducing interference with through street traffic movements.
ii.
Provide an entrance drive "throat" length of no less than 100 feet to reduce conflicts between entering and exiting vehicles, parcels may only be exempt from this if a waiver is received from the Horry County Engineering Department. Developments that generate less than 500 ADTs shall be exempt from this standard.
5.
Public transit. Public transit accommodations shall be provided for sites containing structures totaling eighty thousand (80,000) gross square feet or greater. This can be waived by the zoning administrator if adequate sites already exist within the area.
A.
Boundaries. The Highway 501 Overlay Zone shall begin at Highway 501 intersection with Hwy 378 and terminate at the intersection of Canal Street and Highway 501 in the City of Myrtle Beach. The overlay shall extend 500 feet to the north and south of the right-of-way line of Highway 501 as shown in Attachment.
B.
Development and design requirements. Development of specific uses within the Highway 501 corridor shall be consistent with the underlying zoning district. In addition to the requirements of the applicable underlying zoning district, the following supplemental development regulations shall apply:
1.
Special design standards. Retail garden center. Any merchandise typically associated with a retail garden center other than living plant material such as mulch, lawn equipment, propane items, barbeque grills, paving stones, landscaping timbers, bird baths, garden chemicals, etc. that is within two hundred fifty (250) feet of the corridor must be screened by either:
a)
A six-foot high privacy fence; or
b)
The items are screened by placing living plant materials, which may be for sale, such that these plants serve as a semi-opaque screen for the other materials, items and equipment. (This is not a replacement for the required perimeter landscaping.)
c)
Chain link fencing is prohibited except within an industrial area and only when screened by landscape material to create a six-foot tall opaque screen. If permitted, chain link fences, including posts and rails, shall be black, brown or green and vinyl coated.
2.
Access management. The following access management strategies shall be employed to ensure that development does not impact the carrying capacity or future improvement of Highway 501.
a)
Shared or joint access. Reductions of access points to the corridor are encouraged due to the increases in operational efficiency that result.
b)
Extension of frontage roads (applies to properties west of Forestbrook Road only). When the construction of or transfer of property for the construction of (reverse) frontage roads, consistent with the Horry County. SCDOT and GSATS road plan, occurs the following shall apply:
i.
Required parking for adjacent uses may be reduced up to 25%;
ii.
Landscaping and buffer requirements along the frontage road may be reduced up to 30%; and
iii.
Individual parcels accessing the frontage road shall be allowed one access point for each 200 feet of frontage. Additional accesses may be permitted if approved by Horry County Engineering and they meet required separation and offset from other accesses or driveways.
3.
Signage. The following standards shall apply to signage:
a)
Temporary wall signage. One (1) Temporary wall banner on a property which has received a zoning compliance for a new business within the last 30 days.
b)
Temporary ground sign.
i.
One (1) on-site temporary sign not exceeding eight (8) feet in height or sixteen (16) square feet in size; or
ii.
One (1) temporary sign, no more than thirty-two (32) square feet in area, located on the property on which there is an active building permit or an active stormwater permit.
c)
Prohibited signs. The following signs shall be prohibited in the corridor:
i.
Animated signs and full motion video signs are prohibited.
ii.
Temporary signs except as allowed above.
A.
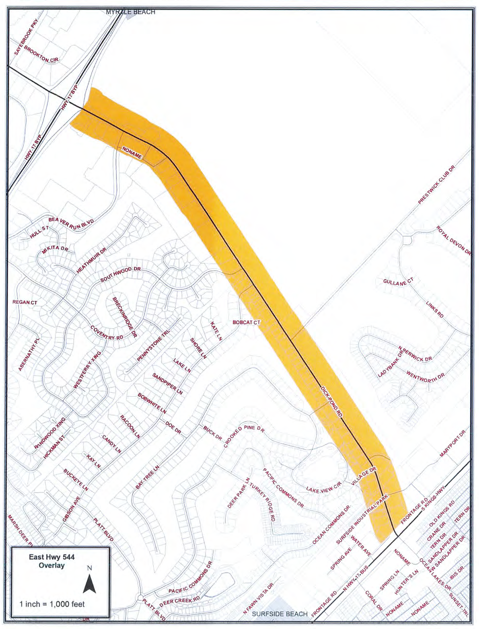
Boundaries. The Highway 544 Overlay Zone shall be divided into two segments. The first section shall be called the East Highway 544 Overlay and shall begin at the intersection of Highway 17 Bypass and Highway 544 and terminate at the intersection of Highway 17 Business and Highway 544 near Surfside Beach, SC. The second section will be called the West Highway 544 Overlay and shall begin at the intersection of Highway 17 Bypass and Highway 544 and will run north to the intersection of old Highway 544 and Highway 501 Bypass and end at the stoplight as well as run north and terminate at the beginning of the Highway 544 bridge over Highway 501 Bypass near Conway, SC.
The Overlay segments shall generally extend 300 feet to either side of the right-of-way lines of Highway 544 except where Highway 544 has been relocated from its former alignment that followed Dick Pond Road till the Forestbrook Rd intersection. In such instance, the boundaries of the Overlay shall include the properties that are located between these roadways and shall extend 300 feet to the east and west of the right-of-way lines of those roadways. Furthermore, at the northern terminus of the Overlay, the boundaries shall include the rights-of-way of the old Highway 544 which splits to the left from Highway 544 Bypass just south of Highway 501 Bypass and which runs north and ends at the intersection of old Highway 544 and Highway 501 Bypass at the stoplight. The northern terminus also includes the section of Highway 544 Bypass which splits to the right from the old Highway 544 intersection just south of Highway 501 Bypass. See map in attached maps for Hwy 544 East and West.
Where appropriate, specific standards applicable to either the East or West segments of the Overlay will be duly noted. When no specific segment has been identified within the standards, such standard shall apply to the entire Overlay.
B.
Development and design requirements. Development of specific uses in the Highway 544 Overlay Zone shall be consistent with the underlying zoning district. In addition to the requirements of the applicable underlying zoning district the following supplemental development regulations shall apply.
1.
Structure heights.
a)
Structures within the East Highway 544 section located to the south of the Highway 544 right-of-way shall not exceed 35 feet in height. The structures east of Southwood Drive and going all the way to Highway 17 Business shall maintain the general appearance of a typical two story residential type construction with a pitched roof; and
b)
Structures within the East Highway 544 section located to the north of the Highway 544 right-of-way as well as the entire West Highway 544 section shall not exceed 50 feet, except that copulas, spires, or other ornamental features are permitted to increase such building heights to 75 feet. However, new proposed structure located within 100 feet of an existing residential structure for which a certificate of occupancy has been issued, shall have a maximum height of 35 feet of living space. The roof, copulas, spires, or other ornamental features are permitted to increase building height to 50 feet.
2.
Landscaping and buffer requirements. The perimeter landscaping should follow the standards of Article V except that the non-residential streetscape buffer shall be 25 feet or 10% of a parcel's depth, whichever is less.
3.
Parking areas. Parking space reductions. The number of required parking spaces may be reduced by up to fifteen (15) percent of the total required parking for the proposed use, if:
a)
The perimeter buffer is increased to thirty-five (35) feet; and
b)
Required landscaping materials are increased at a rate of twenty-five (25) percent of that required.
4.
Lighting. Lighting shall be mounted no higher than 25 feet in height.
5.
Signage.
a)
On-site signage requirements.
b)
Prohibited signs. The following signs shall be prohibited in the corridor:
Animated signs and full motion video signs are prohibited
(Ord. No. 30-2025, § 1, 4-15-25)
A.
Boundaries. The Highway 707 Overlay Zone shall begin at the stoplight at the intersection of Highway 707 and Dick Pond Road or the old alignment of Highway 544 and travel south to the Georgetown County line.
Corridor and overlay are used interchangeably throughout these regulations. When referenced, it shall mean the area generally three hundred (300) feet from the edge of the Highway 707 right-of-way lines between the established beginning and ending points indicated above, and the Commercial Nodes measured one-quarter (¼) mile in diameter from the centerline intersections of Highway 707 and Bay Road, Holmestown Road, and Tournament Boulevard. The maps herein of the Highway 707 Overlay Zone provide the location of the boundaries of this Overlay.
B.
Development and design requirements. In addition to the requirements of the applicable underlying zoning district, the following supplemental development regulations shall apply:
1.
Buildings.
a)
Roof. Roof drains shall allow runoff to the required foundation landscaping specified below unless it is determined to be infeasible by the Horry County Stormwater Department.
b)
Facade.
i.
No length of any facade shall exceed twenty (20) linear feet without including at least one (1) of the following: pilasters, columns, offsets, reveals, projecting ribs, canopies/porticos, colonnades, windows, trellis with vines, or an equivalent element that subdivides the wall into human scale proportions.
ii.
Facade colors shall be subtle, neutral or earth tone colors.
iii.
Building trim and accent areas may feature brighter colors, including primary colors, but in no instance shall trim incorporate neon paint.
iv.
Garage doors and shipping doors shall not face Highway 707 or any public right-of-way within the Commercial Nodes.
c)
Structure heights. Structures within the Highway 707 Overlay shall not exceed thirty-five (35) feet in height. The roof, copulas, spires, or other ornamental features are permitted to increase building height to fifty (50) feet, but the height of the living space can be no higher that thirty-five (35) feet. The height of steeples, bell towers, or spires of churches, synagogues, temples, or other places of worship may be increased up to seventy-five (75) feet in height.
2.
Wetland protection. Setbacks shall be measured from the edge of wetlands located on a parcel. Landscape materials and buffer requirements shall be reduced along the periphery of undisturbed wetlands by fifty (50) percent. In the instance that a wetland is disturbed and/or timber is removed, the landscaping requirements herein shall be met. Wetland delineation is required on all plans submitted for development review.
3.
Impervious surface area. In no instance shall impervious surfaces constitute more than sixty-five (65) percent of total lot area unless parking areas utilize Low Impact Development (LID) standards. Ponds used for drainage design shall not be included in the impervious area calculations. Impervious surfaces exceeding the threshold shall use pervious materials to meet the regulations herein.
4.
Perimeter landscaping. The perimeter landscaping should follow the standards of Article V except that the non-residential streetscape buffer along the main corridor shall be 25 feet or 10% of a parcel's depth, whichever is less.
5.
Non-residential streetscape buffer. The non-residential streetscape buffer along Hwy 707 shall include the following mixture of plant materials per one hundred (100) feet of buffer length:
a)
Four (4) canopy trees, equally spaced in a continuous row;
b)
Four (4) understory trees that flower or have foliage that changes color seasonally, equally spaced in a continuous row; and
c)
Twenty-five (25) shrubs; and
d)
Ten (10) evergreens (may be tree or shrub variety).
6.
Retail garden center. That is within two hundred fifty (250) feet of the corridor must be screened by either:
a)
A six-foot high privacy fence; or
b)
The items are screened by placing living plant materials, which may be for sale, such that these plants serve as a semi-opaque screen for the other materials, items and equipment. (This is not a replacement for the required perimeter landscaping)
7.
Parking.
a)
No more than fifty (50) percent of total parking may be located in front of the principal building.
b)
When parking is located completely to the side and rear of the principal building, it shall be eligible to encroach into the front building setback up to the required streetscape buffer. This requirement only applies to the streetscape buffer adjacent to Hwy 707.
c)
Parking areas shall be designed so that no one (1) parking module contains more than seventy-five (75) spaces.
d)
In order to be exempt from the impervious area percentage calculation above, parking islands shall incorporate Low Impact Development (LID) measures listed below.
i.
Parking islands shall be constructed below the grade of the parking surface so as to accept surface water runoff. When curbing is used, sufficient curb cuts shall be included to allow proper drainage of the parking area.
ii.
Parking islands shall be incorporated into the stormwater management and grading plan utilizing one (1) of the following treatments:
A.
Vegetated filter strips;
B.
Bioretention areas;
C.
Infiltration bio-swales;
D.
Vegetated swales;
E.
Infiltration basins;
F.
Infiltration trenches;
G.
Sand filters; and
H.
Created wetlands.
e)
Maximum parking. Parking may be increased above the minimum required utilizing pervious paving material including but not limited to brick pavers, grass pavers, porous asphalt and porous concrete.
8.
Lighting. Parking lot lighting shall have lighting no greater than sixteen (16) feet in height.
9.
Sign regulations.
a)
Off-premise signage. No new or additional off-premise signs shall be permitted in the Overlay Zone.
b)
On-premise signs.
c)
Temporary signs. One (1) Temporary wall banner on a property which has received a zoning compliance for a new business within the last 30 days.
d)
Prohibited signs.
i.
Temporary signs shall be prohibited except as allowed above.
ii.
Changeable manual signs are prohibited in the Overlay.
iii.
Animated signs and full motion video signs are prohibited.
A.
Boundaries. The Boundaries referenced below will be referred to as the "Main Corridor" throughout this ordinance.
The Burgess Area Overlay Zone shall begin at the boundary of the Commercial Node at Highway 707 and Holmestown Road (SC #1240) and travel east until Holmestown Road ends at the intersection of Highway 17 Bypass and Holmestown Road. The Overlay does not include those parcels located within the Commercial Node at Highway 707 and Holmestown, measured one-quarter (¼) mile from the centerline intersection.
The second portion of the Burgess Area Overlay zone shall encompass the entirety of McDowell Shortcut Road (S-477). The boundaries shall commence from the initial intersection of McDowell Shortcut Road and Highway 707 and proceed south to the terminal intersection of McDowell Shortcut Road and Highway 707.
The Overlay shall extend three hundred (300) feet to either side of the right-of-way lines of Holmestown Road and McDowell Shortcut Road as shown in the map herein. Corridor and overlay are used interchangeably throughout these regulations.
B.
Development and design requirements. In addition to the requirements of the applicable underlying zoning district the following supplemental development regulations shall apply.
1.
Buildings.
a)
Facade.
i.
No length of any facade shall exceed twenty (20) linear feet without including at least one (1) of the following: pilasters, columns, offsets, reveals, projecting ribs canopies/porticos, colonnades, windows, trellis with vines, or an equivalent element that subdivides the wall into human scale proportions.
ii.
Facade colors shall be subtle, neutral or earth tone colors.
iii.
Building trim and accent areas may feature brighter colors, including primary colors, but in no instance shall trim incorporate neon paint.
iv.
Garage doors and shipping doors shall not face the main corridor.
b)
Structure heights. Structures within the main corridor shall not exceed thirty-five (35) feet in height as defined in the zoning ordinance. The roof, copulas, spires, or other ornamental features are permitted to increase building height to fifty (50) feet, but the height of the living space can be no higher than thirty-five (35) feet. The height of steeples, bell towers, or spires of churches, synagogues, temples, or other places of worship may be increased up to seventy-five (75) feet in height.
2.
Wetland protection. Setbacks shall be measured from the edge of wetlands located on a parcel. Landscape materials and buffer requirements shall be reduced along the periphery of undisturbed wetlands by fifty (50) percent. In the instance that a wetland is disturbed and/or timber is removed, the landscaping requirements herein shall be met. Wetland delineation is required on all plans submitted for development review.
3.
Impervious surface area. In no instance shall impervious surfaces constitute more than sixty-five (65) percent of total lot area unless parking areas utilize Low Impact Development (LID) standards. Ponds used for drainage design shall not be included in the impervious area calculations. Impervious surfaces exceeding the threshold shall use pervious materials to meet the regulations herein.
4.
Perimeter landscaping. The perimeter landscaping should follow the standards of Article V except that the non-residential streetscape buffer along the main corridor shall be 25 feet or 10% of a parcel's depth, whichever is less.
5.
Non-residential streetscape buffer. The non-residential streetscape buffer along the main corridor shall include the following mixture of plant materials per one hundred (100) feet of buffer length:
a)
Four (4) canopy trees, equally spaced in a continuous row;
b)
Four (4) understory trees that flower or have foliage that changes color seasonally, equally spaced in a continuous row; and
c)
Twenty-five (25) shrubs; and
d)
Ten (10) evergreens (may be tree or shrub variety).
6.
Retail garden center. Any merchandise typically associated with a retail garden center other than living plant material such as mulch, lawn equipment, propane items, barbeque grills, paving stones, landscaping timbers, bird baths, garden chemicals, etc. that is within two hundred fifty (250) feet of the corridor must be screened by either:
a)
A six-foot high privacy fence; or
b)
The items are screened by placing living plant materials, which may be for sale, such that these plants serve as a semi-opaque screen for the other materials, items and equipment. (This is not a replacement for the required perimeter landscaping)
7.
Parking.
a)
No more than fifty (50) percent of total parking may be located in front of a building.
b)
Parcels wherein parking is located completely to the side and rear of the principal building shall be eligible to encroach into the front setback requirement of the underlying zoning district up to the required streetscape buffer.
c)
Parking areas shall be designed so that no one parking module contains more than seventy-five (75) spaces.
d)
In order to be exempt from the impervious area percentage requirements above, parking islands shall incorporate low impact development (LID) measures listed below.
i.
Parking islands shall be constructed below the grade of the parking surface so as to accept surface water runoff. When curbing is used, sufficient curb cuts shall be included to allow proper drainage of the parking area.
ii.
Parking islands shall be incorporated into the stormwater management and grading plan utilizing one (1) of the following treatments:
A.
Vegetated filter strips;
B.
Bioretention areas;
C.
Infiltration bio-swales;
D.
Vegetated swales;
E.
Infiltration basins;
F.
Infiltration trenches;
G.
Sand filters; and
H.
Created wetlands.
e)
Parking spaces above the minimum required. Parking may be increased above the minimum required utilizing pervious paving material including but not limited to brick pavers, grass pavers, porous asphalt and porous concrete.
8.
Lighting. Parking lot lighting shall have lighting no greater than sixteen (16) feet in height;
9.
Sign regulations.
a)
Off-premise signage. No new or additional off-premise signs shall be permitted in the overlay zone.
b)
On-premise signs.
c)
Temporary signs. One (1) Temporary wall banner on a property which has received a zoning compliance for a new business within the last 30 days.
d)
Prohibited signs. Temporary signs shall be prohibited except as allowed above.
e)
Animated signs and full motion video signs are prohibited.
f)
Changeable manual signs and portable signs shall be limited only to parcels which contain either a produce stands or a church.
A.
Boundaries. The boundaries of the overlay zone are established herein. Corridor and overlay are used interchangeably throughout these regulations. When referenced, it shall mean the area generally 250 feet to the east and west of the Highway 17 right-of-way lines between the established beginning and ending points specified in this section of the Zoning Ordinance.
The overlay zone shall begin at the North and South Carolina State Line and travel south to the overpass of HWY 90 at the Intersection HWY 9 and HWY 17.
B.
Development and design requirements. In addition to the requirements of the applicable underlying zoning district, the following supplemental development regulations shall apply:
1.
Buildings.
a)
Roof.
i.
Roof mounted mechanical equipment visible from the corridor shall be enclosed or screened to ensure that such features are not visible. Enclosures and screens shall be compatible to the architectural style of the proposed building;
ii.
Buildings of less than 5,000 square feet of gross floor area shall be designed with gabled or pitched roofs, with a minimum pitch of 6 in 12.
b)
Facades.
i.
No wall that faces a street or connecting walkway shall have a blank, uninterrupted length exceeding one hundred (100) linear feet without including at least two (2) of the following: pilasters, columns, canopies/porticos, arcades, colonnades, change in texture or masonry pattern, windows, trellis with vines, or an equivalent element that subdivides the wall into human scale proportions. Such walls shall also incorporate wall plane projections or recesses having a depth of at least two (2) feet in offset and extending at least twenty (20) feet in length.
ii.
Building walls facing the front yard or street side yard shall have window(s) and door(s). Such facades shall have display windows a minimum of six (6) feet in height along no less than sixty percent (60%) of their horizontal length. Side or rear walls that face walkways may include false windows and door openings defined by frames, sills and lintels, or similarly proportioned modulations of the wall, only when actual doors and windows are not feasible because of the nature of the use of the building.
iii.
Within planned shopping centers and multi-tenant buildings, distinct architectural entry identity for individual tenants' entrances shall be provided for suites exceeding 10,000 square feet of leasable area.
iv.
Building design shall include minimum one (1) foot deep cornices, extending along the entire front of buildings and the sides of buildings at least ten feet.
v.
Building design shall include a minimum two (2) foot high contrasting base, extending along the entire front of buildings and down the sides of buildings at least ten (10) feet.
2.
Structures with special design standards.
a)
Gas stations and commercial convenience stores shall utilize either gable or hip roof structures. The canopies over the gas pumps shall be attached to the main building and integrated into the architectural roof design. The canopy portion of the structure shall only be subject to a 10' foot setback from any property line. The canopy is not allowed to encroach upon any required buffer area. The principal structure/building shall still be subject to all setback requirements as set forth within the zoning ordinance. Bays, regardless of amount, shall not face the corridor.
b)
Outdoor freestanding propane stations must be opaquely screened from public view with landscaping or a solid fence of vinyl, wood, stone or brick material. Fences exceeding six (6) feet in height shall have plantings on any side facing the main corridor or residentially zoned property.
c)
Non-Residential Uses With Structures Exceeding Twenty-Five Thousand (25,000) Square Feet of Building Area or an Improved Surface Area Exceeding Fifty Thousand (50,000) Square Feet.
i.
Such buildings must be separated from lands designated, zoned or used for a residential purpose by at least fifty (50) feet, which distance shall be measured by the shortest distance between the building occupied by the use and nearest property line of the residential use.
ii.
All shopping centers, complexes of buildings designed as a group, retail uses or uses exceeding twenty-five thousand (25,000) gross square feet shall provide a covered pedestrian arcade at least eight (8) feet in width extending for the length of the main entrance facade.
3.
Landscaping and buffer requirements. The following standards shall apply. Additional landscaping, buffering, and tree preservation requirements may be required per Article V of the Zoning Ordinance.
a)
Existing protected and specimen trees as identified in the § 505 of the landscape ordinance, shall be retained within the buffer area.
4.
Shipping/receiving areas, utility locations and dumpsters.
a)
Loading and unloading of commercial vehicles or of any other vehicles used for commercial purposes is only permitted between the hours of 6:00 a.m. and 11:00 p.m. when property assigned a residential zoning classification or used for residential purposes is within one hundred (100) feet of the loading area. Within such areas, such activities are prohibited at all other times.
b)
Utility services shall be located underground when possible. If underground utility location is not possible, above grade utilities shall be located behind structures in a utility "alley" easement approved by the applicable utility authority.
c)
Dumpsters, which may be seen from adjacent properties or public parking lots, shall be screened from view on all four sides.
d)
Screening shall consist of three solid walls of brick, stucco or split-face block construction, at least six feet in height. The wall shall include a continuous cap feature and a closing gate. The gate shall be a 100 percent solid metal or wooden gate.
5.
Accessory structures/uses.
a)
Accessory structures shall be compatible in style, color, and materials with main structure(s).
b)
Structures shall be limited in size to 25% of the primary structure or 1000 sf whichever is less.
6.
Lighting. Mounting heights shall not exceed eighteen (18) feet except in areas where the total number of parking spaces exceed 100 spaces; in such instances the mounting height shall be no higher than twenty-five (25) feet provided that they are limited to the central areas of the parking lot and lower fixtures not exceeding eighteen (18) feet in height are utilized along the primary vehicular/pedestrian corridors. If a light is within fifty (50) feet of a residentially zoned parcel, the mounting height shall be no greater than twelve (12) feet.
7.
Outdoors display and storage.
(a)
Commercial outdoor display areas, sales areas, tents are prohibited, except where a special event is held and a permit is issued. This Subsection does not apply to Auto/boat/storage building/sales. Chain link fences, including posts and rails, shall be black, brown or green and vinyl coated.
(b)
Outdoor storage. Outdoor storage and display of any goods, materials, merchandise, equipment, parts, junk or vehicles (overnight parking) cannot be located forward of the principal building and when possible shall be located to the side of the building not facing a public street.
8.
Retail garden center. Any merchandise typically associated with a retail garden center other than living plant material such as mulch, lawn equipment, propane items, barbeque grills, paving stones, landscaping timbers, bird baths, garden chemicals, etc. that is within two hundred fifty (250) feet of the corridor must be screened by either:
(a)
A six-foot high privacy fence; or
(b)
The items are screened by placing living plant materials, which may be for sale, such that these plants serve as a semi-opaque screen for the other materials, items and equipment. (This is not a replacement for the required perimeter landscaping)
9.
Parking areas.
(a)
Required parking spaces may be increased by up to 10% above the parking minimums of this ordinance provided all excess spaces shall consist of alternative pervious paving material including but not limited to, brick pavers, grass pavers, porous asphalt and porous concrete.
(b)
Shared parking agreements may be utilized where circumstances permit the reduction of the required parking ratio.
10.
Sign regulations.
a)
Off-premise signage. Off premises advertising signage shall be prohibited except as follows:
i.
Digital billboards may be permitted as a replacement of existing non-digital billboard signage and only as a two for one replacement. Two legally existing non-digital billboards within the overlay must be removed to allow for the installation new digital billboard.
ii.
Digital billboards must meet a separation of 2,400 feet from other digital billboards.
iii.
Digital billboards cannot be located within 500 feet of an existing residence. This distance shall be measured from the actual billboard location to the nearest property boundary of the nearest residentially used property.
b)
On-premise signage.
i.
Allowed signage.
ii.
Design standards for on premise signage.
A.
Changeable copy or digital signage. Signs may have up to 50% of the permitted copy area as changeable copy (manual or automatic) or digital. Replacing existing LED/electronic/or manually changeable signage with digital signage shall be considered ordinary maintenance as long as the existing sign structure is capable of supporting the additional weight, the total signage size is not increased and the digital sign does not exceed more than fifty (50) of the total existing sign.
B.
The maximum size of the background structure of a sign shall not exceed one hundred ten (110) percent of the total square footage of copy area.
iii.
Building signs. Building signs shall be limited to the following:
iv.
Design standards for building signage.
A.
The maximum size of sign letters and logos, including any sign backgrounds, shall be twenty-four (24) inches in height for single tenants.
B.
The maximum height of letters and logos for anchor tenants in a retail center shall not exceed twenty (20) percent of the building height.
C.
The length of the sign may occupy up to fifty (50) percent of the linear feet of the storefront the business occupies.
D.
Maximum size is 150 sf.
c)
Temporary signage.
i.
Temporary wall signage. One (1) Temporary wall banner on a property which has received a zoning compliance for a new business within the last 30 days.
ii.
Temporary ground sign.
A.
One (1) on-site temporary sign not exceeding eight (8) feet in height or sixteen (16) square feet in size; or
B.
One (1) temporary sign, no more than thirty-two (32) square feet in area, located on the property on which there is an active building permit or an active stormwater permit.
d)
Prohibited signs.
i.
Temporary signs shall be prohibited except as allowed above.
ii.
Animated signs and full motion video signs are prohibited.
A.
Boundaries. The Socastee Boulevard Overlay Zone shall apply to renovated or newly constructed development located 200 feet to either side of the Socastee Boulevard right-of-way lines as shown in Attachment 1. The existing Socastee Overlay Zone is located on the northern section of Highway 707 between Highway 17 Bypass and ends at the stoplight at the intersection of Highway 707 and Dick Pond Road or the old alignment of Highway 544 and should not be confused with this Highway 707 Overlay Zone.
B.
Development and design requirements. Development of specific uses in the Socastee Boulevard Overlay Zone shall be consistent with the underlying zoning district. In addition to the requirements of the applicable underlying zoning district the following supplemental development regulations shall apply:
1.
Buildings.
a)
Facades.
i.
Buildings wider than one hundred (100) feet shall be designed to break up the scale of the building. This can be done using differing facade treatments including changes in color, material, articulation, windows, doors, etc. Principal facades facing overlay corridor may not have blank walls that exceed fifteen (15) feet in length without windows, doors or other decorative elements. Other building facades visible from the corridor or adjacent general customer areas must be designed so that no blank facade exceeds thirty (30) in width. The spacing shall be measured from edge of window, door or other decorative element to other element.
ii.
Where parapets are used, the parapet must wrap around the entire length of the front and side of the buildings. Where parapets are not used, all rooftop mechanical equipment shall be screened. Parapets shall be limited to twenty (20) percent of the total height of the facade, unless the increased height is needed solely to screen the rooftop equipment.
iii.
If the building design includes cornices than they should be a minimum one (1) foot deep cornice and extend along the entire front of buildings and the sides of buildings at least ten (10) feet.
iv.
If the building design includes a contrasting base than it should be a minimum two (2) foot high contrasting base and extend along the entire front of buildings and down the sides of buildings at least ten (10) feet.
b)
Glazing.
i.
Reflective or heavily tinted glass shall be limited to twenty-five (25) percent of the linear length of any facade.
ii.
Glazing located on the ground floor of the primary and/or secondary facade of commercial structures shall be forty (40) percent or less.
c)
Heights. Structure heights shall not exceed 36 feet, except copulas, spires, or other ornamental features are permitted to increase building heights to 50 feet.
2.
Accessory structures/uses. Structures shall be limited in size to twenty-five (25) percent of the primary structure or one thousand (1,000) square feet; whichever is less.
3.
Special design standards.
a)
Outdoor display. Commercial outdoor display areas, sales areas, and tents are prohibited, except in the following situations and subject to the following standards:
i.
Where a special event is held and a permit is issued.
ii.
This subsection does not apply to auto/boat/RV/storage building sales.
b)
Outdoor freestanding propane stations. Outdoor freestanding propane stations and storage facilities shall be opaquely screened from public view with landscaping or a fence meeting eighty (80) percent opacity.
c)
Retail garden center. Any merchandise typically associated with a retail garden center such as mulch, lawn equipment, propane items, barbeque grills, paving stones, landscaping timbers, bird baths, garden chemicals, etc., that is within two hundred fifty (250) feet of the corridor must be screened by either:
i.
A six-foot high privacy fence; or
ii.
The items are screened by placing living plant materials such that these plants serve as a semi-opaque screen for the other materials, items and equipment. (This is not a replacement for the required perimeter landscaping)
d)
Fencing. Chain link fencing is prohibited except within an industrial area and only when screened by landscape material to create a six-foot tall opaque screen. If permitted, chain link fences, including posts and rails, shall be black, brown or green and vinyl.
4.
Lighting.
a)
Mounting heights shall not exceed eighteen (18) feet, except in areas where the total number of parking spaces exceeds one hundred (100); in such instances the mounting heights shall be no higher than twenty-five (25) feet provided they are limited to the central areas of the parking lot and lower fixtures not exceeding eighteen (18) feet in height are utilized along the primary vehicular/pedestrian corridors.
b)
If a light is within fifty (50) feet of a residentially zoned parcel, the height of the light shall be no greater than eighteen (18) feet with the fixture located along the edge of the parking area and light directed back into the site.
c)
Wherever possible, illumination of outdoor seating areas, building entrances, and walkways shall be accomplished by use of ground mounted fixtures not more than four (4) feet in height.
5.
Sign regulations.
a)
On-premise signs.
b)
Temporary.
i.
Temporary wall signage. One (1) Temporary wall banner on a property which has received a zoning compliance for a new business within the last 30 days.
ii.
Temporary ground sign.
A.
One (1) on-site temporary sign not exceeding eight (8) feet in height or sixteen (16) square feet in size; or
B.
One (1) temporary sign, no more than thirty-two (32) square feet in area, located on the property on which there is an active building permit or an active stormwater permit.
c)
Prohibited signs. The following signs shall be prohibited in the corridor:
i.
Temporary signage except as allowed above.
ii.
Animated signs and full motion video signs are prohibited.
A.
Boundaries.
1.
When referenced, it shall mean the area generally extending two hundred and fifty (250) feet from the edge of the right-of-way lines of those roads listed herein.
2.
The overlay zone shall begin along US 17 from Cove Drive and continue north to Ocean Creek Drive.
3.
The overlay zone shall also continue along Kings Road, Chestnut Road, Lake Arrowhead Road, and Shore Drive.
B.
Development and design requirements. Development of specific uses in the restaurant row overlay zone shall be consistent with the underlying zoning district. In addition to the requirements of the applicable underlying zoning district the following supplemental development regulations shall apply:
1.
Buildings.
a)
Facades.
i.
Buildings wider than one hundred (100) feet shall be designed break up the scale of the building. This can be done using differing facade treatments including changes in color, material, articulation, windows, doors, etc. Principal facades facing overlay corridor may not have blank walls that exceed fifteen (15) feet in length without windows, doors or other decorative elements. Other building facades visible from the corridor or adjacent general customer areas must be designed so that no blank facade exceeds thirty (30) in width. The spacing shall be measured from edge of window, door or other decorative element to other element.
ii.
Where parapets are used, the parapet must wrap around the entire length of the front and side of the buildings. Where parapets are not used, all rooftop mechanical equipment shall be screened. Parapets shall be limited to twenty (20) percent of the total height of the facade, unless the increased height is needed solely to screen the rooftop equipment.
iii.
If the building design includes cornices than they should be a minimum one (1) foot deep cornice and extend along the entire front of buildings and the sides of buildings at least ten (10) feet.
iv.
If the building design includes a contrasting base than it should be a minimum two (2) foot high contrasting base and extend along the entire front of buildings and down the sides of buildings at least ten (10) feet.
b)
Glazing.
i.
Reflective or heavily tinted glass shall be limited to twenty-five (25) percent of the linear length of any facade.
ii.
Glazing located on the ground floor of the primary and/or secondary facade of commercial structures shall be forty (40) percent or less.
2.
Accessory structures/uses. Structures shall be limited in size to twenty-five (25) percent of the primary structure or one thousand (1,000) square feet; whichever is less.
3.
Special design standards.
a)
Outdoor display. Commercial outdoor display areas, sales areas, and tents are prohibited, except in the following situations and subject to the following standards:
i.
Where a special event is held and a permit is issued.
ii.
This subsection does not apply to auto/boat/RV/storage building sales.
b)
Outdoor freestanding propane stations. Outdoor freestanding propane stations and storage facilities shall be opaquely screened from public view with landscaping or a fence meeting eighty (80) percent opacity.
c)
Retail garden center.
i.
Any merchandise typically associated with a retail garden center such as mulch, lawn equipment, propane items, barbeque grills, paving stones, landscaping timbers, bird baths, garden chemicals, etc. that is within two hundred fifty (250) feet of the corridor must be screened by either:
ii.
A six-foot high privacy fence; or
iii.
The items are screened by placing living plant materials such that these plants serve as a semi-opaque screen for the other materials, items and equipment.
d)
Fencing. Chain link fencing is prohibited except within an industrial area and only when screened by landscape material to create a six-foot tall opaque screen. If permitted, chain link fences, including posts and rails, shall be black, brown or green and vinyl coated. Fences exceeding six (6) feet in height shall have plantings on any side facing the main corridor or adjacent residentially zoned property, whichever is closer.
4.
Shipping/receiving docks. If no courtyard is present or the dock is located on the side of the structure then landscaping or a solid screen made of durable architectural materials used in the buildings primary facade shall be provided to ultimately create an opaque screen at least eight (8) feet in height. The screening shall be designed to obscure views from on and offsite public areas, except for necessary penetrations.
5.
Access management. To ensure that development within the overlay does not impact the carrying capacity or future improvement of the corridor, the following access management strategies shall be employed.
The use of shared access to serve adjacent parcels abutting the corridor is required for new lots where there is less than two hundred (200) feet of frontage on the corridor.
6.
Lighting.
a)
Mounting heights shall not exceed eighteen (18) feet except in areas where the total number of parking spaces exceeds one hundred (100); in such instances the light shall be no higher than twenty-five (25) feet provided they are limited to the central areas of the parking lot and lower fixtures not exceeding eighteen (18) feet in height are utilized along the primary vehicular/pedestrian corridors.
b)
If a light is within fifty (50) feet of a residentially zoned parcel, the height of the light shall be no greater than eighteen (18) feet with the fixture located along the edge of the parking area and light directed back into the site.
c)
Wherever possible, illumination of outdoor seating areas, building entrances, and walkways shall be accomplished by use of ground mounted fixtures not more than four (4) feet in height.
7.
Sign regulations.
a)
On-premise freestanding signs.
b)
Prohibited signs. Animated signs and full motion video signs are prohibited.
A.
Boundaries. Corridor and overlay are used interchangeably throughout these regulations. When referenced, it shall mean the area generally two hundred and fifty (250) feet to the east and west of the right-of-way lines between the established beginning and ending points specified in this section of the zoning ordinance.
The overlay zone shall follow along US 17 Business South from the Town of Surfside Beach south to the Horry County line.
B.
Development and design requirements. Development of specific uses in the Hwy 17 Business south overlay zone shall be consistent with the underlying zoning district. In addition to the requirements of the applicable underlying zoning district the following supplemental development regulations shall apply:
1.
Building exterior.
a)
Facades.
i.
Buildings wider than one hundred (100) feet shall be designed break up the scale of the building. This can be done using differing facade treatments including changes in color, material, articulation, windows, doors, etc. Principal facades facing overlay corridor may not have blank walls that exceed fifteen (15) feet in length without windows, doors or other decorative elements. Other building facades visible from the corridor or adjacent general customer areas must be designed so that no blank facade exceeds thirty (30) [feet] in width. The spacing shall be measured from edge of window, door or other decorative element to other element.
ii.
Where parapets are used, the parapet must wrap around the entire length of the front and side of the buildings. Where parapets are not used, all rooftop mechanical equipment shall be screened. Parapets shall be limited to twenty (20) percent of the total height of the facade, unless the increased height is needed solely to screen the rooftop equipment.
iii.
If the building design includes cornices than they should be a minimum one (1) foot deep cornice and extend along the entire front of buildings and the sides of buildings at least ten (10) feet.
iv.
If the building design includes a contrasting base than it should be a minimum two (2) foot high contrasting base and extend along the entire front of buildings and down the sides of buildings at least ten (10) feet.
b)
Glazing.
i.
Reflective or heavily tinted glass shall be limited to twenty-five (25) percent of the linear length of any facade.
ii.
Glazing located on the ground floor of the primary and/or secondary facade of commercial structures shall be forty (40) percent or less.
2.
Accessory structures/uses. Structures shall be limited in size to twenty-five (25) percent of the primary structure or one thousand (1,000) square feet; whichever is less.
3.
Special design standards.
a)
Outdoor display. Commercial outdoor display areas, sales areas, and tents are prohibited, except in the following situations and subject to the following standards:
i.
Where a special event is held and a permit is issued.
ii.
This subsection does not apply to auto/boat/RV/storage building sales.
b)
Outdoor freestanding propane stations. Outdoor freestanding propane stations and storage facilities shall be opaquely screened from public view with landscaping or a fence meeting eighty (80) percent opacity.
c)
Retail garden center.
i.
Any merchandise typically associated with a retail garden center such as mulch, lawn equipment, propane items, barbeque grills, paving stones, landscaping timbers, bird baths, garden chemicals, etc., that is within two hundred fifty (250) feet of the corridor must be screened by either:
ii.
A six-foot high privacy fence; or
iii.
The items are screened by placing living plant materials such that these plants serve as a semi-opaque screen for the other materials, items and equipment. (This is not a replacement for the required perimeter landscaping)
d)
Fencing. Chain link fencing is prohibited except within an industrial area and only when screened by landscape material to create a six-foot tall opaque screen. If permitted, chain link fences, including posts and rails, shall be black, brown or green and vinyl coated. Fences exceeding six (6) feet in height shall have plantings on any side facing the main corridor or adjacent residentially zoned property, whichever is closer.
4.
Shipping/receiving docks. If no courtyard is present or the dock is located on the side of the structure then landscaping or a solid screen made of durable architectural materials used in the buildings primary facade shall be provided to ultimately create an opaque screen at least eight (8) feet in height. The screening shall be designed to obscure views from on and offsite public areas, except for necessary penetrations.
5.
Lighting.
a)
Mounting heights shall not exceed eighteen (18) feet except in areas where the total number of parking spaces exceeds one hundred (100); in such instances the lights shall be no higher than twenty-five (25) feet provided they are limited to the central areas of the parking lot and lower fixtures not exceeding eighteen (18) feet in height are utilized along the primary vehicular/pedestrian corridors.
b)
If a light is within fifty (50) feet of a residentially zoned parcel, the height of the light shall be no greater than eighteen (18) feet with the fixture located along the edge of the parking area and light directed back into the site.
c)
Wherever possible, illumination of outdoor seating areas, building entrances, and walkways shall be accomplished by use of ground mounted fixtures not more than four (4) feet in height.
6.
Sign regulations.
a)
On-premise freestanding signs.
b)
Temporary and other.
i.
Flags are allowed as follows:
A.
Only two (2) flags shall be permitted.
B.
The flags shall not be flown higher than a 35-foot pole, measured from grade.
C.
Only one flag per pole up to six (6) feet by ten (10) feet, or two (2) flags per pole up to four (4) feet by six (6) feet, may be flown.
D.
The flag pole shall not be located within ten (10) feet of any adjacent right-of-way.
ii.
Temporary wall signage. One (1) Temporary wall banner on a property which has received a zoning compliance for a new business within the last 30 days.
iii.
Temporary ground sign.
A.
One (1) on-site temporary sign not exceeding eight (8) feet in height or sixteen (16) square feet in size; or
B.
One (1) temporary sign, no more than thirty-two (32) square feet in area, located on the property on which there is an active building permit or an active stormwater permit.
c)
Prohibited signs. The following signs shall be prohibited in the corridor:
Temporary signs except for what is allowed above.
A.
Boundaries. Corridor and overlay are used interchangeably throughout these regulations. When referenced, it shall mean the area generally two hundred and fifty (250) feet to the east and west of the right-of-way lines between the established beginning and ending points specified in this section of the Zoning Ordinance.
The Overlay zone shall follow along S. Kings Highway from the City of Myrtle Beach municipal limits south to the Town of Surfside municipal limits.
B.
Development and design requirements. Development of specific uses in the S. Kings Hwy Overlay Zone shall be consistent with the underlying zoning district. In addition to the requirements of the applicable underlying zoning district the following supplemental development regulations shall apply:
1.
Building.
a)
Facades.
i.
Building facades facing the corridor must include a repeating pattern with no less than three (3) of the elements listed below. At least one (1) of these elements shall repeat horizontally. All elements shall repeat at intervals of no more than thirty (30) feet, either horizontally or vertically.
A.
Color change.
B.
Texture change.
C.
Material module change.
ii.
No length of any front facade facing the corridor shall exceed thirty (30) linear feet without including at least one (1) of the following: pilasters, columns, offsets, reveals, projecting ribs canopies/porticos, colonnades, windows, trellis with vines, or an equivalent element that subdivides the wall into human scale proportions.
iii.
Shutters, if used, shall be sized so that they would fully cover the window opening if they were operable. Operable shutters are preferred, but not required.
iv.
Where parapets are not used, all rooftop mechanical equipment shall be screened. False parapets shall be limited to twenty (20) percent of the total height of the facade. The measurement shall be the average height of the parapet wall at each section of the facade as a ratio to width.
v.
Where sloping roofs are used on the front or sides of a building facing the corridor the cornices shall be a minimum of one (1) foot deep.
b)
Entrances. A minimum one (1) entrance shall front the primary corridor. A commercial or institutional building shall feature one (1) or more prominent entries on the primary facade highlighted by at least three (3) of the details listed below. Secondary entrances to smaller tenants in multi-tenant buildings shall also have at least two (2) of the features listed below.
i.
Canopies/porticos above the entrance;
ii.
Roof overhangs above the entrance;
iii.
Entry recesses/projections;
iv.
Arcades that are physically integrated with the entrance;
v.
Raised corniced parapets above the entrance;
vi.
Architectural details, such as tile work and moldings, that are integrated into the building structure and design; or
vii.
Integral planters or wing walls that incorporate landscaped areas or seating areas. A wing wall is a wall secondary in scale projecting from a primary wall and not having a roof.
c)
Glazing. Reflective or heavily tinted glass shall not be used on the primary or secondary facade.
2.
Accessory structures/uses. Accessory structures shall be limited in size to twenty-five (25) percent of the primary structure or one thousand (1,000) square feet; whichever is less.
3.
Special design standards.
a)
Fencing. Chain link security fence enclosures may only be utilized within industrial areas and only when screened by landscape material to create a six-foot tall opaque screen. If permitted, chain link fences, including posts and rails, shall be black, brown or green and vinyl coated.
b)
Outdoor freestanding propane stations. Outdoor freestanding propane stations and storage facilities shall be opaquely screened from public view with landscaping or a solid fence of vinyl, wood, stone or brick material. Fences exceeding six (6) feet in height shall have landscape plantings on any side facing the main corridor or residentially zoned property.
c)
Retail garden center. Any merchandise typically associated with a retail garden center other than living plant material such as mulch, lawn equipment, propane items, barbeque grills, paving stones, landscaping timbers, bird baths, garden chemicals, etc. that is within two hundred fifty (250) feet of the corridor must be screened by either:
i.
A six-foot high privacy fence; or
ii.
The items are screened by placing living plant materials, which may be for sale, such that these plants serve as a semi-opaque screen for the other materials, items and equipment. (This is not a replacement for the required perimeter landscaping)
d)
Outdoor storage. The following are requirements for outdoor storage in non-residential districts located within the Overlay. All uses with outdoor storage of any goods, materials, merchandise, equipment, parts, junk or vehicles (overnight parking) shall not be permitted unless in conformance with the following regulations:
i.
All proposed areas used for outdoor storage and the associated method of screening shall be indicated on an approved site plan.
ii.
Fencing shall consist of vinyl, wood, stone, or brick materials. Chain link, plastic or concrete materials are prohibited.
iii.
Outdoor storage shall observe the same setback requirements as that of the principal building.
iv.
Outdoor storage areas cannot be located forward of the principal building and when possible shall be located to the side of the building not facing a public street.
4.
Shipping/receiving areas. If no courtyard is present then landscaping or a solid screen made of durable architectural materials used in the buildings primary facade shall be provided to ultimately create an opaque screen at least eight (8) feet in height. The screening shall be designed to obscure views from on and offsite public areas, except for necessary penetrations.
5.
Driveway location and design.
a)
Driveway medians shall be improved with at least one (1), two and one-half-inch caliper canopy tree to reduce parking lot heat and glare for every fifty (50) feet of median length. Five (5) shrubs must be provided per tree. Two (2) understory trees may be substituted for each required canopy tree in areas constrained by overhead utility line or in limited cases at the discretion of the Planning Department to provide visibility to signage and or architectural features. The remaining area of the driveway median shall be planted with vegetation that complements the structure or a suitable groundcover. All landscaping shall be located so as to not impede any required sight triangles. Acceptable plant species, maintenance standards, and sizes to meet the above requirements are listed below.
b)
On site storage for entering and exiting vehicles shall be buffered from the parking area. Said buffer shall consist of an above grade landscaping strip no less than three (3) feet in width and vegetated with at least one (1) two and one-half-inch caliper canopy trees to reduce parking lot heat and glare for every twenty-five (25) feet of median length. Five (5) shrubs shall be provided per tree. Two (2) understory trees may be substituted for each required canopy tree in areas constrained by overhead utility lines or in limited cases at the discretion of the Planning Department to provide visibility to signage and or architectural features. The remaining area of the buffer shall be planted with vegetation that complements the structure or a suitable groundcover. Acceptable plant species, maintenance standards, and sizes to meet the above requirements are listed in Horry County Landscaping Booklet.
6.
Parking. To reduce the visual mass and enhance the appearance of parking areas from the corridor, the following standards shall be met:
a)
Parking plan. The maximum allowed number of parking spaces is one hundred ten (110) percent of the required number of off-street parking spaces. All parking spaces provided in excess of one hundred ten (110) percent of the required parking spaces shall consist of alternative pervious paving materials unless this creates a requirement where the number of pervious spaces is five (5) or less. In such cases all parking may be impervious.
7.
Lighting height.
a)
Mounting heights shall not exceed eighteen (18) feet except in areas where the total number of parking spaces exceeds one hundred (100); in such instances the lights shall be no higher than twenty-five (25) feet provided they are limited to the central areas of the parking lot and lower fixtures not exceeding eighteen (18) feet in height are utilized along the primary vehicular/pedestrian corridors.
b)
If a light is within fifty (50) feet of a residentially zoned parcel, the height of the light shall be no greater than eighteen (18) feet with the fixture located along the edge of the parking area and light directed back into the site.
c)
Wherever possible, illumination of outdoor seating areas, building entrances, and walkways shall be accomplished by use of ground mounted fixtures not more than four (4) feet in height.
8.
Sign regulations.
a)
Off-premise signage. No new or additional off-premise signs shall be allowed or permitted in the defined area of this corridor Overlay Zone unless it meets the following:
i.
Off-premise signs must be one thousand two hundred (1,200) feet apart except for digital billboards which must meet a separation of two thousand four hundred (2,400) feet from other digital billboards.
ii.
Digital billboards cannot be located within five hundred (500) feet of a residential zone or used property.
b)
On-premise signs.
i.
Allowed signage.
ii.
Signage design standards.
A.
Maximum number of tenant sign panels incorporated into the freestanding sign:
B.
Parcel(s) less three (3) acres may have up to six (6) tenant panels.
C.
Parcel(s) greater than or equal to three (3) acres may have up to eight (8) tenant panels.
D.
The maximum size of the background structure of a sign shall not exceed one hundred ten (110) percent of the total square footage of copy area. Branded architectural elements shall not count as background structure.
E.
The portion of the sign on which tenant names are displayed does not exceed eighty-five (85) percent of the total sign area; and
F.
Branded architectural elements shall not count towards the maximum allowable copy area. Branded elements shall not exceed thirty (30) percent of the allowed copy area. Area shall be measured as the smallest box capable of containing all design elements.
c)
Building signs.
d)
Temporary and other.
i.
Temporary wall signage. One (1) Temporary wall banner on a property which has received a zoning compliance for a new business within the last 30 days.
ii.
Temporary ground sign.
A.
One (1) on-site temporary sign not exceeding eight (8) feet in height or sixteen (16) square feet in size; or
B.
One (1) temporary sign, no more than thirty-two (32) square feet in area, located on the property on which there is an active building permit or an active stormwater permit.
e)
Prohibited signs. The following signs shall be prohibited in the overlay:
i.
Animated and full motion video signs are prohibited.
ii.
Temporary signs except for what is allowed above.
A.
Purpose. The purpose of the Little River Overlay Zone is established to impose height restrictions on all new construction in the area to prevent over development and development that is incompatible with the area.
B.
Boundaries. The Little River Area Overlay Zone shall begin at the intersection of Golf Avenue, Highway 90 and Highway 17 and Kingsport Road and terminate at the North Carolina State Line. Furthermore, the overlay shall extend 500 feet to the north, northwest of the right-of-way line of Highway 17 and shall extend to the Atlantic Ocean on the east and include the North Myrtle Beach Marina.
C.
Applicable height restrictions. The height of all new construction within the Little River Height Overlay shall not exceed sixty (60') feet, unless the property is rezoned to a Planned Development District (PDD). A height of up to one hundred twenty (120') feet may be approved in a PDD.
A.
Purpose. This overlay zone exists to ensure current operations and future expansions of Horry County's publicly-owned and operated aviation facilities are not hindered by encroachment of structures or objects into required aircraft approach paths or airspace. Protection of such spaces is necessary to ensure compliance with Federal Aviation Administration (FAA) guidelines relative to general aviation airports, to ensure the safety and efficiency of air navigation, to prevent conflict with land development that may result in loss of life and property, to encourage development that is compatible with airports, and to preserve and protect the public investment in Horry County's aviation facilities.
B.
Applicability. The Airport Environs Overlay Zone shall govern all properties in unincorporated Horry County that fall within the (1) Runway Protection Zone, (2) Inner Approach Zone, (3) Transitional Zone, (4) Outer Approach Zone, (5) Horizontal Zone, (6) Conical Zone, and (6) Future Use Protection Zone, as identified by the South Carolina Aeronautics Commission's Airport Compatible Land Use Evaluation Tool for Myrtle Beach International Airport (MYR), Grand Strand Airport (CRE), Conway-Horry County Airport (HYW), and Loris-Twin Cities Airport (5J9), and as shown in the Airport Environs Overlay Map.
C.
Use and height restrictions. No permanent or temporary use may be made of areas, land or water within any zone established by this ordinance in such a manner as to:
1.
Create electrical interference with navigational signals or radio communications between the airport, aircraft, and/or any Air Traffic Control Facility, whether such facility is operated by the FAA (or its successor) or operated by a non-FAA entity; or
2.
Make it difficult for pilots to distinguish between airport lights and others, resulting in glare in the eyes of pilots using the airport, create bird strike hazards, or otherwise in any way creating a hazard or endangering the landing, takeoff, or maneuvering of aircraft intending to use the airport.
3.
Conflict with land use recommendations made by the South Carolina Aeronautics Commission through the Airport Compatible Land Use Evaluation Tool. Any of the following shall require a review by the SC Aeronautics Commission and Horry County Department of Airports, and may require a review by the FAA:
4.
A Determination of No Hazard to Air Navigation from the FAA shall be required for any new permanent or temporary structure over 200 feet tall within the overlay zone.
D.
Review authority. The Horry County Planning and Zoning Department will be the development review authority in the unincorporated areas in the vicinity of the airport facilities. The Horry County Planning and Zoning Department will act as liaison to the Horry County Department of Airports to solicit comments and recommendations regarding proposed development or redevelopment within the airport environs overlay. The Horry County Department of Airports will coordinate with the FAA to ensure compliance with the Federal Aviation Regulations (FAR) Part 77.
A.
Purpose. The Temporary Vending Overlay Zones are established to provide limits on the number of temporary vending permits that may be issued in conjunction with festivals, fairs, or special events occurring within the county. Issuance of temporary vending permits within the zones established below shall follow the standards established in this section.
B.
Boundaries. The Temporary Vending Overlay Zones (TVOZ) are defined as:
1.
Southern Strand Temporary Vending Overlay (SSTVO). The SSTVO is defined as the area bounded on the north by South Carolina Highway 501, on the east by the Atlantic Ocean, on the south by the Horry/Georgetown County line, and the west by the Intracoastal Waterway.
2.
Northern Strand Temporary Vending Overlay (NSTVO). The NSTVO is defined as the area bounded on the north by the North Carolina/South Carolina State line, on the east by the Atlantic Ocean, on the south by the South Carolina Highway 501, and the west by the Intracoastal Waterway.
3.
Southern Waccamaw Temporary Vending Overlay (SWTVO). The SWTVO is defined as the area bounded on the north by the South Carolina Highway 501, on the east by the Intracoastal Waterway, on the south by the Horry/Georgetown County line, and the west by the Waccamaw River.
4.
Northern Waccamaw Temporary Vending Overlay (NWTVO). The NWTVO is defined as the area bounded on the north by the North Carolina/South Carolina State line, on the east by the Intracoastal Waterway, on the south by the South Carolina Highway 501, and the west by the Waccamaw River.
5.
Western Temporary Vending Overlay (WTVO). The WTVO is defined as the area of Horry County west of the Waccamaw River.
C.
Permitting restrictions.
1.
No more than seventy-five (75) temporary vending permits shall be issued in each of the following overlay zones for the spring or fall bike rallies or other fair, festival, or special event: SSTVO, NSTVO, SWTVO, and NWTVO. In the SSTVO, no more than twenty-five (25) of the allotted seventy-five (75) permits shall be issued for locations south of S.C. Highway 544.
2.
No more than one hundred (100) temporary vending permits shall be issued in the WTVO for the spring or fall bike rallies or other fair, festival, or special event.
3.
No temporary vending permits shall be issued for areas located within the South Carolina Highway 501 Overlay.
D.
Conditions. Temporary vendors for festivals, fairs and special events subject to the following conditions:
1.
Temporary vending shall be allowed as accessory uses to existing businesses provided that;
a)
The existing location is of sufficient size to accommodate additional traffic and vending booths shall not displace more than thirty (30) percent of the existing business parking lot.
b)
Vending booths as a conditional use or structure shall be setback twenty (20) feet from the right-of-way line of any public or private roadway. They shall have a minimum separation of six (6) feet from the principal structure or other uses upon the lot. No more than four (4) vending booths may be joined together without providing a minimum six-foot separation between them and adjacent vending booths.
c)
No vending booth shall be closer than five (5) feet to any abutting side or rear property line. If the property is surrounded by a privacy fence, of at least six (6) feet in height, the side and rear setbacks shall not apply.
d)
Businesses allowing vending shall provide two (2) parking spaces per vendor and the area for vending parking shall be designated as "vehicle parking only" and cordoned off from pedestrian and all other uses.
2.
Temporary vending shall be allowed on vacant lots in zoning districts allowing retail sales provided;
a)
The vacant lot is of sufficient size to accommodate additional traffic and vending booths.
b)
No vending booths shall be located on the lot closer than twenty-five (25) feet to any property line abutting a street and no closer than ten (10) feet to any other property line and separated from other vending uses by six (6) feet.
c)
Any vacant lot where the property line abuts a residential use or zoning district shall not be allowed to accommodate a vending use.
d)
Vacant lots allowing vending uses shall provide three (3) parking spaces per vendor and provide a designated area on the lot where they are located strictly for vehicle parking only to accommodate this requirement. The designated area shall not be closer than ten (10) feet to the highway right-of-way.
3.
Temporary signage must be permitted in compliance with § 610.
a)
Temporary signage for such locations that allow vending shall be restricted to locating all signage to the vending booth, which is permitted.
b)
No signage other than one (1) temporary road frontage sign advertising the location/name of the vending area shall be permitted.
4.
A site plan drawn to scale shall be required showing vendor location, setbacks, existing parking, and designated reserved parking area for vendors and signage location.
5.
A letter and/or copy of an official lease agreement from the property owner and a copy of the property owner's business license must be provided where vending permits are requested.
6.
Temporary vending booths selling alcoholic beverages shall be separated one hundred (100) feet from other temporary vending booths selling alcohol beverages.
7.
All vending locations shall provide proof (receipts for services) of bathroom facilities and litter containment and removal during the permitting process.
8.
Any vending location that occupies houses or stores a recreation vehicle for vending or overnight purposes shall be limited to the lot on which they are permitted otherwise; RV's shall not be used or stored on any other location other than in the zoning district that they are allowed (Destination Park Zoning District).
9.
The property owner/lessee or assigns shall be responsible for any violation of this section or any other sections of the Horry County Code of Ordinances. Such violations may result in the revocation or denial of a Certificate of Zoning Compliance for this or any future use as a festival, fair or special event.
10.
Non profit organizations, exempt from obtaining an Horry County Business License, that sponsor events at which temporary vending occurs shall be required to obtain one (1) Zoning Compliance for such vending locations. A site plan shall be submitted showing the designated area (i.e. blocks, streets, or group of parcels) of-such vending locations. If parking is not being provided within the designated area, the non-profit organization shall provide proof that off-street parking has been reserved and designated to accommodate event patrons. Non profit organizations shall be exempt from certificate of zoning compliance fees.
11.
Permits will be valid for the approved dates of such event. No permits will be issued earlier than ninety (90) days prior to the scheduled event and vendors may not setup booths prior to the scheduled event.
12.
Temporary vending fees shall be as follows: *
* Vendors located within Loris Fairgrounds are not normally subject to temporary vending fees. However, due to the public safety costs incurred during bike rallies, temporary vendors located within Loris Fairgrounds or other similar venues shall be subject to the vending fees set forth herein.
A.
Purpose.
1.
The overlay zone is established to provide standards relative to neighborhood appearance and safety in the residential areas surrounding and adjacent to Coastal Carolina University. Furthermore, the overlay is established to provide occupancy limits relative to the residential areas surrounding and adjacent to Coastal Carolina University in order to promote a sense of place in an orderly neighborhood context. The purpose and intent of the governing authority of the county in enacting this section is as follows:
a)
To protect the health, safety and general welfare of the citizens of the county through the enactment of a set of regulations governing property maintenance in the Coastal Carolina University Neighborhood Overlay Zone.
b)
To preserve the value of property and maintain for the county's residents, workers and visitors a safe and aesthetically attractive environment.
2.
When any existing county ordinance is amended, the more restrictive provisions of such revised ordinance shall apply even if these overlay zone standards are less restrictive.
3.
The following standards provide the minimum requirement that must be met in order to receive Planning Department/Commission authorization to develop, redevelop or occupy residential property within the overlay zone as established by the zoning ordinance.
4.
The standards established herein address only neighborhood occupancy, appearance and safety concerns. Specific zoning-related standards are established in the zoning ordinance and must also be met prior to beginning development or redevelopment activities in the overlay zone.
B.
Applicability.
1.
The boundaries of the overlay zone are established herein. The standards that follow shall be applicable to any residential building with an issued certificate of occupancy, and any residential building substantially modified and/or newly constructed that is located partially or completely as established in the boundaries subsection of this section. Construction or renovation that is interior to the structure is exempt from these regulations.
2.
Any parcel completely contained in the overlay shall comply with these regulations.
C.
Boundaries. Corridor and overlay are used interchangeably throughout these regulations. When referenced, it shall mean those residential properties within the following subdivisions of record: Quail Creek, Quail Creek Village, College Park, College Place and Barberry Drive. A complete list of associated TMS is available by request in the Planning and Zoning Department. The map shown below indicates the boundaries of this overlay.
D.
Definitions.
"Owner" is defined as any person, firm, corporation or entity who, alone or jointly or severally with others:
1.
Has legal title to any dwelling or dwelling unit, with or without accompanying actual possession thereof; or
2.
Has charge, care or control of any dwelling or dwelling unit, as owner or agent of the owner, prime tenant, or as executor, executrix, administrator, administratrix, trustee or guardian of the estate of the owner. Any such person thus representing the actual owner shall be bound to comply with the provisions of this article to the same extent as the owner.
E.
Occupancy of dwelling units. The number of individuals unrelated by blood, marriage, adoption, guardianship or other duly authorized custodial relationship residing in a dwelling unit within this overlay shall not exceed the number of bedrooms in the dwelling, as determined by county records, but shall not exceed four (4), irrespective of the number of bedrooms. The owner, agent and tenants shall be subject to the penalties established in Article I of the Horry County Zoning Ordinance for a violation of this occupancy limit.
F.
Parking requirements. A violation of any of the parking requirements herein detailed shall be considered unlawful and the owner, agent and tenant shall be subject to the penalties described in Article I of the Horry County Zoning Ordinance. Between the hours of 11:00 p.m. and 8:00 a.m. every day:
1.
No vehicle shall be parked within the right-of-way within the boundaries of the overlay as defined herein.
2.
Vehicles shall be parked in an off-street facility, including private garages, drives and aisles for maneuvering and gaining ingress and egress, of a residence within the boundary of the overlay.
3.
Landscaped, unimproved and naturally vegetated areas shall not be used as parking facilities.
4.
Areas of drainage and open space, as specified on the recorded subdivision plat, shall not be improved or used for parking facilities unless documented as such on the original plat of record.
G.
Effective date.
1.
This overlay shall become effective upon approval from Horry County Council.
2.
The occupancy restrictions herein contained shall not be applicable for any documented unexpired leases existing as of the date of effectiveness. Said leasehold properties shall be allowed to continue their contractual period, not to exceed December 31, 2009. Beginning January 1, 2010, all properties included in this overlay as defined herein, shall be subject to all provisions herein, regardless of contractual obligations.
A.
Purpose.
1.
The Racepath Community Priority Investment Overlay Zone is herein established to implement strategies identified in the Racepath Neighborhood Plan by providing standards relative to land tenure and density in the continued use, creation, and redevelopment of housing within the community.
2.
The zone is established to provide unified standards and requirements for minimum lot size, building setbacks, and multiple structures on a single parcel as defined herein.
3.
The standards herein shall be permitted regardless of the underlying zoning. When any existing county ordinance is amended, the standards herein shall remain applicable to properties located within the Zone.
B.
Applicability. The standards herein shall be applicable to any existing residential parcel having multiple structures that is located within the boundaries of the Priority Investment Zone.
C.
Boundaries. The Racepath Community Priority Investment Zone generally is bounded by Robert Grissom Parkway to the North, the City of Myrtle Beach Stormwater right-of-way to the West, and those parcels internal to the community fronting or accessed from Racepath Street. The map shown below indicates the boundaries of this overlay.
D.
Multiple structures. Multiple structures shall be allowed on residential parcels within the Zone provided the following standards are met:
1.
All structures shall adhere to the setbacks herein;
2.
Must maintain a 10 foot separation between homes;
3.
No more than two (2) residential units on any parcel less than one-half (½) acre in area;
4.
No more than four (4) residential units on any parcel greater than one-half (½) to one (1) acre in area; and
5.
No more than six (6) structures on any parcel.
E.
Setbacks. Setbacks in the Zone are as follows, regardless of the underlying zoning:
F.
Occupancy. Occupancy of parcels with multiple residential structures shall not be limited by blood, marriage, adoption, guardianship or other duly authorized custodial relationship.
A.
Purpose. The Garden City Overlay is established to impose height, road frontage, minimum lot width at building setback line, side setbacks and parking restrictions on new and redeveloping construction in the area to prevent over development and development that is incompatible with the character of the area.
B.
Boundaries. The Garden City Overlay shall begin at the southeastern city limit line of Surfside Beach and shall terminate at the Horry County/Georgetown County Line, as shown in the map titled Garden City Overlay. The Garden City Parking District, included within the Garden City Overlay, shall be bounded on the northeast by Oceanside Village (Bermuda Bay and Myrtlewood) subdivisions and shall terminate at Atlantic Avenue on the south. It is bounded on the west by residential properties closest to Highway 17 Business South and on the East generally by the marsh.
C.
Applicable height restrictions. The height of all new construction within the Garden City Overlay shall not exceed thirty-five feet (35'), except those areas designated on the attached map, or unless rezoned as a Planned Development District (PDD). A height of up to one hundred eighty feet (180') may be approved in a PDD.
D.
Applicable parking restrictions. All new and redeveloping residential construction shall submit a parking plan prior to the issuance of a building permit. The minimum parking required is one (1) space per bedroom. Parking shall meet the setbacks of the applicable zoning district (and be located entirely within the buildable area of the property) and meet the dimensional and improvement standards of Article VII.
E.
Applicable minimum road frontage and side setbacks. The road frontage and minimum lot width at building setback line for all lots zoned SF6 within the Garden City Overlay shall meet a minimum width of forty feet (40') and the side setbacks for those lots shall meet a minimum distance of seven and one-half feet (7.5') from the property line. All other requirements of Article VIII shall remain the same.
F.
Applicable dimensional standards for beach adjacent properties. These standards are applicable to all lots in the Garden City Overlay Zone that provides for a building height of fifty-five feet (55') or greater. The single family use must be permitted in the zoning district to gain access to these standards. These standards do not apply to MHP or existing MRD, PUD and PDD zoning districts. Existing MRD, PUD and PDD zoning may apply for these standards with an amendment.
1.
Minimum lot size.
a)
Single Family: 3,600 Square Feet.
2.
Minimum lot frontage and lot width at building setback line.
a)
Single Family: Thirty Feet (30').
3.
Setbacks for single family. These setbacks will be exempt from the Double Frontage and Corner lot provisions outlined in § 205.B.3 and 4.
a)
Front yard setback: Twenty (20) feet.
b)
Side yard setback: Five (5) feet.
c)
Corner Side yard setback: 7.5 (Seven and one-half) feet.
d)
Rear yard setback: Fifteen (15) feet.
(Ord. No. 41-2023, § 2, 5-16-23)
A.
Purpose. The purpose of the Veteran's Highway Overlay Zone is to preserve the exceptional scenic value of the highway and maintain the serene farm field and natural vistas from the highway for all travelers to enjoy.
B.
Boundaries. The Veteran's Highway Overlay Zone provides supplemental sign regulations. The overlay zone extends one thousand (1,000) feet of the right-of-way line on either side of Veteran's Highway.
C.
Applicable sign regulations.
1.
On-site signage.
a)
Maximum height of signs shall be 35 ft.
b)
No more than one (1) sign per parcel shall be directed towards Veterans Hwy.
2.
Wall signage.
a)
One (1) wall sign no greater than 15 percent of the wall area shall be permitted per wall face.
b)
Only one (1) wall sign shall be visible from Veteran's Highway.
3.
Prohibited signs. Animated signs and full motion video signs are prohibited.
OVERLAY ZONES
The following are overlay zones, which provide supplemental regulations to the underlying zoning districts to achieve particular development objectives:
These provisions apply to all corridor overlays.
A.
Purpose. Corridor Overlay Zones are established to provide standards relative to accessibility, appearance and safety in the development of commercial, industrial, major residential subdivision, multi-family residential and office projects. Furthermore, the overlays provide a unified development that promotes a sense of place and provides opportunities to develop projects to be compatible with the carrying capacity of the corridor.
B.
Applicability. The standards that follow shall be applicable to any development which is located partially or completely within the boundaries established within the boundaries section of the corridor overlay. The terms corridor and overlay are used interchangeably throughout these regulations. There may be additional standards listed below in the specific corridor overlay.
1.
Any change of use that requires additional parking shall bring the entire parking lot into compliance with the parking lot standards of this overlay, including the landscaping.
2.
Multi-family development existing at the time of adoption of this overlay shall only adhere to the sign standards. No other sections shall apply.
3.
Single family is exempt, except for the Major residential subdivisions shall incorporate the perimeter landscaping, lighting, and signage requirements herein into the overall subdivision site design.
C.
Cost of modifications.
a)
Cost of modification shall be determined by the total permit value of all building permits over a rolling five (5) year time period.
b)
Permit values where interior and exterior values are broken out, only the exterior portion of the permit value shall count towards the cost of the modification. If the values are not separated the whole value of the permit shall count towards the cost.
i.
Expenses incurred for general maintenance and repair of water; sewer and electrical where no new expansion will occur does not count towards the cost of modification.
D.
Development and design requirements.
1.
Buildings.
a)
Roof. Roof mounted mechanical equipment shall be enclosed or screened to ensure that such features are not visible from beyond the property. Enclosures and screening shall be compatible to the architectural style of the proposed building;
Roof drains shall allow runoff to the required foundation landscaping specified below unless it is determined to be infeasible by the Horry County Stormwater Department.
b)
Materials. No portion of a building, excluding the roof, or canopy support column which is visible off the property shall be treated with smooth-faced concrete block, tilt-up concrete panels or prefabricated steel panels. Materials suitable for treating visible facades include, but are not limited to, brick, glass, synthetic clapboard siding (vinyl, metal or wood), split-face decorative block, stone, hardiplank siding or cementitious siding, or stucco; brushed, stamped or polished aluminum panels.
c)
Facade. Blank or uninterrupted building facades visible from the corridor shall be designed in a manner that reduces the building mass by breaking the facade into smaller segments. Design techniques that include repetitive features or similar architectural elements may be utilized to accomplish this.
2.
Lighting. These are general requirements; individual overlays may apply more restrictive requirements.
a)
Luminary heights shall not exceed thirty-five (35) feet except in the following cases:
b)
If a luminary is within fifty (50) feet of a residentially zoned parcel, the height of the luminary shall be no greater than eighteen (18) feet. The fixture cannot be located within the buffer and light must be directed back into the site.
3.
Pedestrian facilities.
a)
At least one (1) internal pedestrian walkway with a minimum width of five (5) feet shall be provided from the primary building entrance to the public sidewalk system to provide a reasonable direct path for entrance/exit. In the case of corner lots, a connection shall be made to the sidewalk of both streets. If no public sidewalk system exists adjacent to the property then the pedestrian access shall be constructed up to the right-of-way.
b)
Pedestrian pathways shall be constructed with asphalt, cement or other comparable material. All internal pedestrian walkways shall be distinguished from driving surface materials through the use of durable, low maintenance surface materials such as pavers, bricks, or scored/stamped concrete or asphalt to enhance pedestrian safety and comfort, as well as the attractiveness of the walkways (painted or striped crosswalks do not satisfy this requirement). Use of pervious materials is encouraged for pedestrian areas and facilities.
c)
A speed table or textured surfaces creating a rumble effect shall be required at high volume pedestrian crossings (where use generates above 2,000 ADT's).
d)
Pedestrian zones in front of commercial buildings, retail, commercial center and linear multi-entrance office. A pedestrian zone including sidewalks, landscape planters and amenities such as benches, fountains or public art shall be provided adjacent to the entrances of every retail or linear multi entrance office building in scale with the size of building. The width shall be no less than five (5) feet of walkable area. Said pedestrian zone can be located internal or external to the foundation landscaping requirement of this ordinance.
4.
Shipping/receiving areas, & utility location.
a)
Shipping docks shall locate such docks in the rear of the structure or within a shared service courtyard. Shared courtyards may be accessed from the front of the structure provided the entrance to such area is designed to blend into the architectural style of the structure and no docks are visible from the main corridor or adjacent parking areas.
b)
Utility services shall be located underground when possible. If underground utility location is not possible, above grade utilities shall be located behind structures in a utility "alley" easement approved by the applicable utility authority.
E.
Access management. To ensure that development within the overlay does not impact the carrying capacity or future improvement of the corridor, the following access management strategies shall be employed: a) parcels located at an intersection of the corridor and another improved public roadway shall only obtain access from the adjacent public roadway unless the parcel has adequate corridor frontage and driveway spacing to meet the access management requirements of the regulatory agency which maintains the right of way; and b) Shared access to serve adjacent parcels abutting the corridor is required for new lots where there is less frontage than required to obtain a separate standalone access to the corridor.
1.
Shared or joint access. Use of shared or joint access between two (2) or more properties is encouraged even for parcels that may meet the spacing and frontage requirement. Where a parcel uses such access the parking requirements for those adjacent uses may be reduced up to ten (10) percent for each business.
2.
Cross access. Cross-access easements shall be required on all parcels fronting the main corridor. A stub for future access shall be provided to all adjacent vacant land fronting the main corridor OR all adjacent vacant land zoned for commercial or multi-family uses.
a)
Cross access ways shall allow for two-way traffic between parcels through the use of a single drive aisle with a minimum width of twenty-two (22) feet or one-way aisles each with a minimum width of eleven (11) feet.
b)
The cross access standard may be waived by the planning department if the applicant demonstrates it is impractical to provide access due to;
i.
Topography and natural features.
ii.
Size and configuration of the site.
iii.
Vehicular safety factors.
iv.
Existing development patterns on adjacent developed sites that make cross access impossible.
v.
A cross access easement shall be recorded by the owner/developer prior to the issuance of zoning compliance.
3.
Change in use. Properties with access connections that do not meet the requirements of the overlay district shall be brought into compliance when required by the levels of modification table within this overlay or when there is a significant change in use of the property, including land, structures or facilities, resulting in an increase in the trip generation of the property exceeding twenty-five (25) percent (either peak hour or daily) and exceeding one hundred (100) vehicles per day.
4.
Driveway location and design.
a)
Driveways with more than one (1) entry and two (2) exit lane(s) shall incorporate above grade channelization features to separate the entry and exit sides of the driveway. Where above grade channelization impairs truck off tracking, said mechanism shall be setback from the right-of-way so as not to impede the necessary turning radius for safe truck off tracking.
Driveways shall be designed with adequate on-site storage for entering and exiting vehicles to reduce unsafe conflicts with through traffic or on-site traffic and to avoid congestion at the entrance. On site storage for entering and exiting vehicles shall be buffered from the parking area by curbing or other means.
b)
Parking lot access. Parking lots that directly access the corridor or a frontage roadway shall:
i.
Be designed to ensure that entering vehicles maintain a travel speed of 15 mph to assist in reducing interference with through street traffic movements.
ii.
Provide an entrance drive "throat" length of no less than 100 feet to reduce conflicts between entering and exiting vehicles, parcels may only be exempt from this if a waiver is received from the Horry County Engineering Department. Developments that generate less than 500 ADTs shall be exempt from this standard.
5.
Public transit. Public transit accommodations shall be provided for sites containing structures totaling eighty thousand (80,000) gross square feet or greater. This can be waived by the zoning administrator if adequate sites already exist within the area.
A.
Boundaries. The Highway 501 Overlay Zone shall begin at Highway 501 intersection with Hwy 378 and terminate at the intersection of Canal Street and Highway 501 in the City of Myrtle Beach. The overlay shall extend 500 feet to the north and south of the right-of-way line of Highway 501 as shown in Attachment.
B.
Development and design requirements. Development of specific uses within the Highway 501 corridor shall be consistent with the underlying zoning district. In addition to the requirements of the applicable underlying zoning district, the following supplemental development regulations shall apply:
1.
Special design standards. Retail garden center. Any merchandise typically associated with a retail garden center other than living plant material such as mulch, lawn equipment, propane items, barbeque grills, paving stones, landscaping timbers, bird baths, garden chemicals, etc. that is within two hundred fifty (250) feet of the corridor must be screened by either:
a)
A six-foot high privacy fence; or
b)
The items are screened by placing living plant materials, which may be for sale, such that these plants serve as a semi-opaque screen for the other materials, items and equipment. (This is not a replacement for the required perimeter landscaping.)
c)
Chain link fencing is prohibited except within an industrial area and only when screened by landscape material to create a six-foot tall opaque screen. If permitted, chain link fences, including posts and rails, shall be black, brown or green and vinyl coated.
2.
Access management. The following access management strategies shall be employed to ensure that development does not impact the carrying capacity or future improvement of Highway 501.
a)
Shared or joint access. Reductions of access points to the corridor are encouraged due to the increases in operational efficiency that result.
b)
Extension of frontage roads (applies to properties west of Forestbrook Road only). When the construction of or transfer of property for the construction of (reverse) frontage roads, consistent with the Horry County. SCDOT and GSATS road plan, occurs the following shall apply:
i.
Required parking for adjacent uses may be reduced up to 25%;
ii.
Landscaping and buffer requirements along the frontage road may be reduced up to 30%; and
iii.
Individual parcels accessing the frontage road shall be allowed one access point for each 200 feet of frontage. Additional accesses may be permitted if approved by Horry County Engineering and they meet required separation and offset from other accesses or driveways.
3.
Signage. The following standards shall apply to signage:
a)
Temporary wall signage. One (1) Temporary wall banner on a property which has received a zoning compliance for a new business within the last 30 days.
b)
Temporary ground sign.
i.
One (1) on-site temporary sign not exceeding eight (8) feet in height or sixteen (16) square feet in size; or
ii.
One (1) temporary sign, no more than thirty-two (32) square feet in area, located on the property on which there is an active building permit or an active stormwater permit.
c)
Prohibited signs. The following signs shall be prohibited in the corridor:
i.
Animated signs and full motion video signs are prohibited.
ii.
Temporary signs except as allowed above.
A.
Boundaries. The Highway 544 Overlay Zone shall be divided into two segments. The first section shall be called the East Highway 544 Overlay and shall begin at the intersection of Highway 17 Bypass and Highway 544 and terminate at the intersection of Highway 17 Business and Highway 544 near Surfside Beach, SC. The second section will be called the West Highway 544 Overlay and shall begin at the intersection of Highway 17 Bypass and Highway 544 and will run north to the intersection of old Highway 544 and Highway 501 Bypass and end at the stoplight as well as run north and terminate at the beginning of the Highway 544 bridge over Highway 501 Bypass near Conway, SC.
The Overlay segments shall generally extend 300 feet to either side of the right-of-way lines of Highway 544 except where Highway 544 has been relocated from its former alignment that followed Dick Pond Road till the Forestbrook Rd intersection. In such instance, the boundaries of the Overlay shall include the properties that are located between these roadways and shall extend 300 feet to the east and west of the right-of-way lines of those roadways. Furthermore, at the northern terminus of the Overlay, the boundaries shall include the rights-of-way of the old Highway 544 which splits to the left from Highway 544 Bypass just south of Highway 501 Bypass and which runs north and ends at the intersection of old Highway 544 and Highway 501 Bypass at the stoplight. The northern terminus also includes the section of Highway 544 Bypass which splits to the right from the old Highway 544 intersection just south of Highway 501 Bypass. See map in attached maps for Hwy 544 East and West.
Where appropriate, specific standards applicable to either the East or West segments of the Overlay will be duly noted. When no specific segment has been identified within the standards, such standard shall apply to the entire Overlay.
B.
Development and design requirements. Development of specific uses in the Highway 544 Overlay Zone shall be consistent with the underlying zoning district. In addition to the requirements of the applicable underlying zoning district the following supplemental development regulations shall apply.
1.
Structure heights.
a)
Structures within the East Highway 544 section located to the south of the Highway 544 right-of-way shall not exceed 35 feet in height. The structures east of Southwood Drive and going all the way to Highway 17 Business shall maintain the general appearance of a typical two story residential type construction with a pitched roof; and
b)
Structures within the East Highway 544 section located to the north of the Highway 544 right-of-way as well as the entire West Highway 544 section shall not exceed 50 feet, except that copulas, spires, or other ornamental features are permitted to increase such building heights to 75 feet. However, new proposed structure located within 100 feet of an existing residential structure for which a certificate of occupancy has been issued, shall have a maximum height of 35 feet of living space. The roof, copulas, spires, or other ornamental features are permitted to increase building height to 50 feet.
2.
Landscaping and buffer requirements. The perimeter landscaping should follow the standards of Article V except that the non-residential streetscape buffer shall be 25 feet or 10% of a parcel's depth, whichever is less.
3.
Parking areas. Parking space reductions. The number of required parking spaces may be reduced by up to fifteen (15) percent of the total required parking for the proposed use, if:
a)
The perimeter buffer is increased to thirty-five (35) feet; and
b)
Required landscaping materials are increased at a rate of twenty-five (25) percent of that required.
4.
Lighting. Lighting shall be mounted no higher than 25 feet in height.
5.
Signage.
a)
On-site signage requirements.
b)
Prohibited signs. The following signs shall be prohibited in the corridor:
Animated signs and full motion video signs are prohibited
(Ord. No. 30-2025, § 1, 4-15-25)
A.
Boundaries. The Highway 707 Overlay Zone shall begin at the stoplight at the intersection of Highway 707 and Dick Pond Road or the old alignment of Highway 544 and travel south to the Georgetown County line.
Corridor and overlay are used interchangeably throughout these regulations. When referenced, it shall mean the area generally three hundred (300) feet from the edge of the Highway 707 right-of-way lines between the established beginning and ending points indicated above, and the Commercial Nodes measured one-quarter (¼) mile in diameter from the centerline intersections of Highway 707 and Bay Road, Holmestown Road, and Tournament Boulevard. The maps herein of the Highway 707 Overlay Zone provide the location of the boundaries of this Overlay.
B.
Development and design requirements. In addition to the requirements of the applicable underlying zoning district, the following supplemental development regulations shall apply:
1.
Buildings.
a)
Roof. Roof drains shall allow runoff to the required foundation landscaping specified below unless it is determined to be infeasible by the Horry County Stormwater Department.
b)
Facade.
i.
No length of any facade shall exceed twenty (20) linear feet without including at least one (1) of the following: pilasters, columns, offsets, reveals, projecting ribs, canopies/porticos, colonnades, windows, trellis with vines, or an equivalent element that subdivides the wall into human scale proportions.
ii.
Facade colors shall be subtle, neutral or earth tone colors.
iii.
Building trim and accent areas may feature brighter colors, including primary colors, but in no instance shall trim incorporate neon paint.
iv.
Garage doors and shipping doors shall not face Highway 707 or any public right-of-way within the Commercial Nodes.
c)
Structure heights. Structures within the Highway 707 Overlay shall not exceed thirty-five (35) feet in height. The roof, copulas, spires, or other ornamental features are permitted to increase building height to fifty (50) feet, but the height of the living space can be no higher that thirty-five (35) feet. The height of steeples, bell towers, or spires of churches, synagogues, temples, or other places of worship may be increased up to seventy-five (75) feet in height.
2.
Wetland protection. Setbacks shall be measured from the edge of wetlands located on a parcel. Landscape materials and buffer requirements shall be reduced along the periphery of undisturbed wetlands by fifty (50) percent. In the instance that a wetland is disturbed and/or timber is removed, the landscaping requirements herein shall be met. Wetland delineation is required on all plans submitted for development review.
3.
Impervious surface area. In no instance shall impervious surfaces constitute more than sixty-five (65) percent of total lot area unless parking areas utilize Low Impact Development (LID) standards. Ponds used for drainage design shall not be included in the impervious area calculations. Impervious surfaces exceeding the threshold shall use pervious materials to meet the regulations herein.
4.
Perimeter landscaping. The perimeter landscaping should follow the standards of Article V except that the non-residential streetscape buffer along the main corridor shall be 25 feet or 10% of a parcel's depth, whichever is less.
5.
Non-residential streetscape buffer. The non-residential streetscape buffer along Hwy 707 shall include the following mixture of plant materials per one hundred (100) feet of buffer length:
a)
Four (4) canopy trees, equally spaced in a continuous row;
b)
Four (4) understory trees that flower or have foliage that changes color seasonally, equally spaced in a continuous row; and
c)
Twenty-five (25) shrubs; and
d)
Ten (10) evergreens (may be tree or shrub variety).
6.
Retail garden center. That is within two hundred fifty (250) feet of the corridor must be screened by either:
a)
A six-foot high privacy fence; or
b)
The items are screened by placing living plant materials, which may be for sale, such that these plants serve as a semi-opaque screen for the other materials, items and equipment. (This is not a replacement for the required perimeter landscaping)
7.
Parking.
a)
No more than fifty (50) percent of total parking may be located in front of the principal building.
b)
When parking is located completely to the side and rear of the principal building, it shall be eligible to encroach into the front building setback up to the required streetscape buffer. This requirement only applies to the streetscape buffer adjacent to Hwy 707.
c)
Parking areas shall be designed so that no one (1) parking module contains more than seventy-five (75) spaces.
d)
In order to be exempt from the impervious area percentage calculation above, parking islands shall incorporate Low Impact Development (LID) measures listed below.
i.
Parking islands shall be constructed below the grade of the parking surface so as to accept surface water runoff. When curbing is used, sufficient curb cuts shall be included to allow proper drainage of the parking area.
ii.
Parking islands shall be incorporated into the stormwater management and grading plan utilizing one (1) of the following treatments:
A.
Vegetated filter strips;
B.
Bioretention areas;
C.
Infiltration bio-swales;
D.
Vegetated swales;
E.
Infiltration basins;
F.
Infiltration trenches;
G.
Sand filters; and
H.
Created wetlands.
e)
Maximum parking. Parking may be increased above the minimum required utilizing pervious paving material including but not limited to brick pavers, grass pavers, porous asphalt and porous concrete.
8.
Lighting. Parking lot lighting shall have lighting no greater than sixteen (16) feet in height.
9.
Sign regulations.
a)
Off-premise signage. No new or additional off-premise signs shall be permitted in the Overlay Zone.
b)
On-premise signs.
c)
Temporary signs. One (1) Temporary wall banner on a property which has received a zoning compliance for a new business within the last 30 days.
d)
Prohibited signs.
i.
Temporary signs shall be prohibited except as allowed above.
ii.
Changeable manual signs are prohibited in the Overlay.
iii.
Animated signs and full motion video signs are prohibited.
A.
Boundaries. The Boundaries referenced below will be referred to as the "Main Corridor" throughout this ordinance.
The Burgess Area Overlay Zone shall begin at the boundary of the Commercial Node at Highway 707 and Holmestown Road (SC #1240) and travel east until Holmestown Road ends at the intersection of Highway 17 Bypass and Holmestown Road. The Overlay does not include those parcels located within the Commercial Node at Highway 707 and Holmestown, measured one-quarter (¼) mile from the centerline intersection.
The second portion of the Burgess Area Overlay zone shall encompass the entirety of McDowell Shortcut Road (S-477). The boundaries shall commence from the initial intersection of McDowell Shortcut Road and Highway 707 and proceed south to the terminal intersection of McDowell Shortcut Road and Highway 707.
The Overlay shall extend three hundred (300) feet to either side of the right-of-way lines of Holmestown Road and McDowell Shortcut Road as shown in the map herein. Corridor and overlay are used interchangeably throughout these regulations.
B.
Development and design requirements. In addition to the requirements of the applicable underlying zoning district the following supplemental development regulations shall apply.
1.
Buildings.
a)
Facade.
i.
No length of any facade shall exceed twenty (20) linear feet without including at least one (1) of the following: pilasters, columns, offsets, reveals, projecting ribs canopies/porticos, colonnades, windows, trellis with vines, or an equivalent element that subdivides the wall into human scale proportions.
ii.
Facade colors shall be subtle, neutral or earth tone colors.
iii.
Building trim and accent areas may feature brighter colors, including primary colors, but in no instance shall trim incorporate neon paint.
iv.
Garage doors and shipping doors shall not face the main corridor.
b)
Structure heights. Structures within the main corridor shall not exceed thirty-five (35) feet in height as defined in the zoning ordinance. The roof, copulas, spires, or other ornamental features are permitted to increase building height to fifty (50) feet, but the height of the living space can be no higher than thirty-five (35) feet. The height of steeples, bell towers, or spires of churches, synagogues, temples, or other places of worship may be increased up to seventy-five (75) feet in height.
2.
Wetland protection. Setbacks shall be measured from the edge of wetlands located on a parcel. Landscape materials and buffer requirements shall be reduced along the periphery of undisturbed wetlands by fifty (50) percent. In the instance that a wetland is disturbed and/or timber is removed, the landscaping requirements herein shall be met. Wetland delineation is required on all plans submitted for development review.
3.
Impervious surface area. In no instance shall impervious surfaces constitute more than sixty-five (65) percent of total lot area unless parking areas utilize Low Impact Development (LID) standards. Ponds used for drainage design shall not be included in the impervious area calculations. Impervious surfaces exceeding the threshold shall use pervious materials to meet the regulations herein.
4.
Perimeter landscaping. The perimeter landscaping should follow the standards of Article V except that the non-residential streetscape buffer along the main corridor shall be 25 feet or 10% of a parcel's depth, whichever is less.
5.
Non-residential streetscape buffer. The non-residential streetscape buffer along the main corridor shall include the following mixture of plant materials per one hundred (100) feet of buffer length:
a)
Four (4) canopy trees, equally spaced in a continuous row;
b)
Four (4) understory trees that flower or have foliage that changes color seasonally, equally spaced in a continuous row; and
c)
Twenty-five (25) shrubs; and
d)
Ten (10) evergreens (may be tree or shrub variety).
6.
Retail garden center. Any merchandise typically associated with a retail garden center other than living plant material such as mulch, lawn equipment, propane items, barbeque grills, paving stones, landscaping timbers, bird baths, garden chemicals, etc. that is within two hundred fifty (250) feet of the corridor must be screened by either:
a)
A six-foot high privacy fence; or
b)
The items are screened by placing living plant materials, which may be for sale, such that these plants serve as a semi-opaque screen for the other materials, items and equipment. (This is not a replacement for the required perimeter landscaping)
7.
Parking.
a)
No more than fifty (50) percent of total parking may be located in front of a building.
b)
Parcels wherein parking is located completely to the side and rear of the principal building shall be eligible to encroach into the front setback requirement of the underlying zoning district up to the required streetscape buffer.
c)
Parking areas shall be designed so that no one parking module contains more than seventy-five (75) spaces.
d)
In order to be exempt from the impervious area percentage requirements above, parking islands shall incorporate low impact development (LID) measures listed below.
i.
Parking islands shall be constructed below the grade of the parking surface so as to accept surface water runoff. When curbing is used, sufficient curb cuts shall be included to allow proper drainage of the parking area.
ii.
Parking islands shall be incorporated into the stormwater management and grading plan utilizing one (1) of the following treatments:
A.
Vegetated filter strips;
B.
Bioretention areas;
C.
Infiltration bio-swales;
D.
Vegetated swales;
E.
Infiltration basins;
F.
Infiltration trenches;
G.
Sand filters; and
H.
Created wetlands.
e)
Parking spaces above the minimum required. Parking may be increased above the minimum required utilizing pervious paving material including but not limited to brick pavers, grass pavers, porous asphalt and porous concrete.
8.
Lighting. Parking lot lighting shall have lighting no greater than sixteen (16) feet in height;
9.
Sign regulations.
a)
Off-premise signage. No new or additional off-premise signs shall be permitted in the overlay zone.
b)
On-premise signs.
c)
Temporary signs. One (1) Temporary wall banner on a property which has received a zoning compliance for a new business within the last 30 days.
d)
Prohibited signs. Temporary signs shall be prohibited except as allowed above.
e)
Animated signs and full motion video signs are prohibited.
f)
Changeable manual signs and portable signs shall be limited only to parcels which contain either a produce stands or a church.
A.
Boundaries. The boundaries of the overlay zone are established herein. Corridor and overlay are used interchangeably throughout these regulations. When referenced, it shall mean the area generally 250 feet to the east and west of the Highway 17 right-of-way lines between the established beginning and ending points specified in this section of the Zoning Ordinance.
The overlay zone shall begin at the North and South Carolina State Line and travel south to the overpass of HWY 90 at the Intersection HWY 9 and HWY 17.
B.
Development and design requirements. In addition to the requirements of the applicable underlying zoning district, the following supplemental development regulations shall apply:
1.
Buildings.
a)
Roof.
i.
Roof mounted mechanical equipment visible from the corridor shall be enclosed or screened to ensure that such features are not visible. Enclosures and screens shall be compatible to the architectural style of the proposed building;
ii.
Buildings of less than 5,000 square feet of gross floor area shall be designed with gabled or pitched roofs, with a minimum pitch of 6 in 12.
b)
Facades.
i.
No wall that faces a street or connecting walkway shall have a blank, uninterrupted length exceeding one hundred (100) linear feet without including at least two (2) of the following: pilasters, columns, canopies/porticos, arcades, colonnades, change in texture or masonry pattern, windows, trellis with vines, or an equivalent element that subdivides the wall into human scale proportions. Such walls shall also incorporate wall plane projections or recesses having a depth of at least two (2) feet in offset and extending at least twenty (20) feet in length.
ii.
Building walls facing the front yard or street side yard shall have window(s) and door(s). Such facades shall have display windows a minimum of six (6) feet in height along no less than sixty percent (60%) of their horizontal length. Side or rear walls that face walkways may include false windows and door openings defined by frames, sills and lintels, or similarly proportioned modulations of the wall, only when actual doors and windows are not feasible because of the nature of the use of the building.
iii.
Within planned shopping centers and multi-tenant buildings, distinct architectural entry identity for individual tenants' entrances shall be provided for suites exceeding 10,000 square feet of leasable area.
iv.
Building design shall include minimum one (1) foot deep cornices, extending along the entire front of buildings and the sides of buildings at least ten feet.
v.
Building design shall include a minimum two (2) foot high contrasting base, extending along the entire front of buildings and down the sides of buildings at least ten (10) feet.
2.
Structures with special design standards.
a)
Gas stations and commercial convenience stores shall utilize either gable or hip roof structures. The canopies over the gas pumps shall be attached to the main building and integrated into the architectural roof design. The canopy portion of the structure shall only be subject to a 10' foot setback from any property line. The canopy is not allowed to encroach upon any required buffer area. The principal structure/building shall still be subject to all setback requirements as set forth within the zoning ordinance. Bays, regardless of amount, shall not face the corridor.
b)
Outdoor freestanding propane stations must be opaquely screened from public view with landscaping or a solid fence of vinyl, wood, stone or brick material. Fences exceeding six (6) feet in height shall have plantings on any side facing the main corridor or residentially zoned property.
c)
Non-Residential Uses With Structures Exceeding Twenty-Five Thousand (25,000) Square Feet of Building Area or an Improved Surface Area Exceeding Fifty Thousand (50,000) Square Feet.
i.
Such buildings must be separated from lands designated, zoned or used for a residential purpose by at least fifty (50) feet, which distance shall be measured by the shortest distance between the building occupied by the use and nearest property line of the residential use.
ii.
All shopping centers, complexes of buildings designed as a group, retail uses or uses exceeding twenty-five thousand (25,000) gross square feet shall provide a covered pedestrian arcade at least eight (8) feet in width extending for the length of the main entrance facade.
3.
Landscaping and buffer requirements. The following standards shall apply. Additional landscaping, buffering, and tree preservation requirements may be required per Article V of the Zoning Ordinance.
a)
Existing protected and specimen trees as identified in the § 505 of the landscape ordinance, shall be retained within the buffer area.
4.
Shipping/receiving areas, utility locations and dumpsters.
a)
Loading and unloading of commercial vehicles or of any other vehicles used for commercial purposes is only permitted between the hours of 6:00 a.m. and 11:00 p.m. when property assigned a residential zoning classification or used for residential purposes is within one hundred (100) feet of the loading area. Within such areas, such activities are prohibited at all other times.
b)
Utility services shall be located underground when possible. If underground utility location is not possible, above grade utilities shall be located behind structures in a utility "alley" easement approved by the applicable utility authority.
c)
Dumpsters, which may be seen from adjacent properties or public parking lots, shall be screened from view on all four sides.
d)
Screening shall consist of three solid walls of brick, stucco or split-face block construction, at least six feet in height. The wall shall include a continuous cap feature and a closing gate. The gate shall be a 100 percent solid metal or wooden gate.
5.
Accessory structures/uses.
a)
Accessory structures shall be compatible in style, color, and materials with main structure(s).
b)
Structures shall be limited in size to 25% of the primary structure or 1000 sf whichever is less.
6.
Lighting. Mounting heights shall not exceed eighteen (18) feet except in areas where the total number of parking spaces exceed 100 spaces; in such instances the mounting height shall be no higher than twenty-five (25) feet provided that they are limited to the central areas of the parking lot and lower fixtures not exceeding eighteen (18) feet in height are utilized along the primary vehicular/pedestrian corridors. If a light is within fifty (50) feet of a residentially zoned parcel, the mounting height shall be no greater than twelve (12) feet.
7.
Outdoors display and storage.
(a)
Commercial outdoor display areas, sales areas, tents are prohibited, except where a special event is held and a permit is issued. This Subsection does not apply to Auto/boat/storage building/sales. Chain link fences, including posts and rails, shall be black, brown or green and vinyl coated.
(b)
Outdoor storage. Outdoor storage and display of any goods, materials, merchandise, equipment, parts, junk or vehicles (overnight parking) cannot be located forward of the principal building and when possible shall be located to the side of the building not facing a public street.
8.
Retail garden center. Any merchandise typically associated with a retail garden center other than living plant material such as mulch, lawn equipment, propane items, barbeque grills, paving stones, landscaping timbers, bird baths, garden chemicals, etc. that is within two hundred fifty (250) feet of the corridor must be screened by either:
(a)
A six-foot high privacy fence; or
(b)
The items are screened by placing living plant materials, which may be for sale, such that these plants serve as a semi-opaque screen for the other materials, items and equipment. (This is not a replacement for the required perimeter landscaping)
9.
Parking areas.
(a)
Required parking spaces may be increased by up to 10% above the parking minimums of this ordinance provided all excess spaces shall consist of alternative pervious paving material including but not limited to, brick pavers, grass pavers, porous asphalt and porous concrete.
(b)
Shared parking agreements may be utilized where circumstances permit the reduction of the required parking ratio.
10.
Sign regulations.
a)
Off-premise signage. Off premises advertising signage shall be prohibited except as follows:
i.
Digital billboards may be permitted as a replacement of existing non-digital billboard signage and only as a two for one replacement. Two legally existing non-digital billboards within the overlay must be removed to allow for the installation new digital billboard.
ii.
Digital billboards must meet a separation of 2,400 feet from other digital billboards.
iii.
Digital billboards cannot be located within 500 feet of an existing residence. This distance shall be measured from the actual billboard location to the nearest property boundary of the nearest residentially used property.
b)
On-premise signage.
i.
Allowed signage.
ii.
Design standards for on premise signage.
A.
Changeable copy or digital signage. Signs may have up to 50% of the permitted copy area as changeable copy (manual or automatic) or digital. Replacing existing LED/electronic/or manually changeable signage with digital signage shall be considered ordinary maintenance as long as the existing sign structure is capable of supporting the additional weight, the total signage size is not increased and the digital sign does not exceed more than fifty (50) of the total existing sign.
B.
The maximum size of the background structure of a sign shall not exceed one hundred ten (110) percent of the total square footage of copy area.
iii.
Building signs. Building signs shall be limited to the following:
iv.
Design standards for building signage.
A.
The maximum size of sign letters and logos, including any sign backgrounds, shall be twenty-four (24) inches in height for single tenants.
B.
The maximum height of letters and logos for anchor tenants in a retail center shall not exceed twenty (20) percent of the building height.
C.
The length of the sign may occupy up to fifty (50) percent of the linear feet of the storefront the business occupies.
D.
Maximum size is 150 sf.
c)
Temporary signage.
i.
Temporary wall signage. One (1) Temporary wall banner on a property which has received a zoning compliance for a new business within the last 30 days.
ii.
Temporary ground sign.
A.
One (1) on-site temporary sign not exceeding eight (8) feet in height or sixteen (16) square feet in size; or
B.
One (1) temporary sign, no more than thirty-two (32) square feet in area, located on the property on which there is an active building permit or an active stormwater permit.
d)
Prohibited signs.
i.
Temporary signs shall be prohibited except as allowed above.
ii.
Animated signs and full motion video signs are prohibited.
A.
Boundaries. The Socastee Boulevard Overlay Zone shall apply to renovated or newly constructed development located 200 feet to either side of the Socastee Boulevard right-of-way lines as shown in Attachment 1. The existing Socastee Overlay Zone is located on the northern section of Highway 707 between Highway 17 Bypass and ends at the stoplight at the intersection of Highway 707 and Dick Pond Road or the old alignment of Highway 544 and should not be confused with this Highway 707 Overlay Zone.
B.
Development and design requirements. Development of specific uses in the Socastee Boulevard Overlay Zone shall be consistent with the underlying zoning district. In addition to the requirements of the applicable underlying zoning district the following supplemental development regulations shall apply:
1.
Buildings.
a)
Facades.
i.
Buildings wider than one hundred (100) feet shall be designed to break up the scale of the building. This can be done using differing facade treatments including changes in color, material, articulation, windows, doors, etc. Principal facades facing overlay corridor may not have blank walls that exceed fifteen (15) feet in length without windows, doors or other decorative elements. Other building facades visible from the corridor or adjacent general customer areas must be designed so that no blank facade exceeds thirty (30) in width. The spacing shall be measured from edge of window, door or other decorative element to other element.
ii.
Where parapets are used, the parapet must wrap around the entire length of the front and side of the buildings. Where parapets are not used, all rooftop mechanical equipment shall be screened. Parapets shall be limited to twenty (20) percent of the total height of the facade, unless the increased height is needed solely to screen the rooftop equipment.
iii.
If the building design includes cornices than they should be a minimum one (1) foot deep cornice and extend along the entire front of buildings and the sides of buildings at least ten (10) feet.
iv.
If the building design includes a contrasting base than it should be a minimum two (2) foot high contrasting base and extend along the entire front of buildings and down the sides of buildings at least ten (10) feet.
b)
Glazing.
i.
Reflective or heavily tinted glass shall be limited to twenty-five (25) percent of the linear length of any facade.
ii.
Glazing located on the ground floor of the primary and/or secondary facade of commercial structures shall be forty (40) percent or less.
c)
Heights. Structure heights shall not exceed 36 feet, except copulas, spires, or other ornamental features are permitted to increase building heights to 50 feet.
2.
Accessory structures/uses. Structures shall be limited in size to twenty-five (25) percent of the primary structure or one thousand (1,000) square feet; whichever is less.
3.
Special design standards.
a)
Outdoor display. Commercial outdoor display areas, sales areas, and tents are prohibited, except in the following situations and subject to the following standards:
i.
Where a special event is held and a permit is issued.
ii.
This subsection does not apply to auto/boat/RV/storage building sales.
b)
Outdoor freestanding propane stations. Outdoor freestanding propane stations and storage facilities shall be opaquely screened from public view with landscaping or a fence meeting eighty (80) percent opacity.
c)
Retail garden center. Any merchandise typically associated with a retail garden center such as mulch, lawn equipment, propane items, barbeque grills, paving stones, landscaping timbers, bird baths, garden chemicals, etc., that is within two hundred fifty (250) feet of the corridor must be screened by either:
i.
A six-foot high privacy fence; or
ii.
The items are screened by placing living plant materials such that these plants serve as a semi-opaque screen for the other materials, items and equipment. (This is not a replacement for the required perimeter landscaping)
d)
Fencing. Chain link fencing is prohibited except within an industrial area and only when screened by landscape material to create a six-foot tall opaque screen. If permitted, chain link fences, including posts and rails, shall be black, brown or green and vinyl.
4.
Lighting.
a)
Mounting heights shall not exceed eighteen (18) feet, except in areas where the total number of parking spaces exceeds one hundred (100); in such instances the mounting heights shall be no higher than twenty-five (25) feet provided they are limited to the central areas of the parking lot and lower fixtures not exceeding eighteen (18) feet in height are utilized along the primary vehicular/pedestrian corridors.
b)
If a light is within fifty (50) feet of a residentially zoned parcel, the height of the light shall be no greater than eighteen (18) feet with the fixture located along the edge of the parking area and light directed back into the site.
c)
Wherever possible, illumination of outdoor seating areas, building entrances, and walkways shall be accomplished by use of ground mounted fixtures not more than four (4) feet in height.
5.
Sign regulations.
a)
On-premise signs.
b)
Temporary.
i.
Temporary wall signage. One (1) Temporary wall banner on a property which has received a zoning compliance for a new business within the last 30 days.
ii.
Temporary ground sign.
A.
One (1) on-site temporary sign not exceeding eight (8) feet in height or sixteen (16) square feet in size; or
B.
One (1) temporary sign, no more than thirty-two (32) square feet in area, located on the property on which there is an active building permit or an active stormwater permit.
c)
Prohibited signs. The following signs shall be prohibited in the corridor:
i.
Temporary signage except as allowed above.
ii.
Animated signs and full motion video signs are prohibited.
A.
Boundaries.
1.
When referenced, it shall mean the area generally extending two hundred and fifty (250) feet from the edge of the right-of-way lines of those roads listed herein.
2.
The overlay zone shall begin along US 17 from Cove Drive and continue north to Ocean Creek Drive.
3.
The overlay zone shall also continue along Kings Road, Chestnut Road, Lake Arrowhead Road, and Shore Drive.
B.
Development and design requirements. Development of specific uses in the restaurant row overlay zone shall be consistent with the underlying zoning district. In addition to the requirements of the applicable underlying zoning district the following supplemental development regulations shall apply:
1.
Buildings.
a)
Facades.
i.
Buildings wider than one hundred (100) feet shall be designed break up the scale of the building. This can be done using differing facade treatments including changes in color, material, articulation, windows, doors, etc. Principal facades facing overlay corridor may not have blank walls that exceed fifteen (15) feet in length without windows, doors or other decorative elements. Other building facades visible from the corridor or adjacent general customer areas must be designed so that no blank facade exceeds thirty (30) in width. The spacing shall be measured from edge of window, door or other decorative element to other element.
ii.
Where parapets are used, the parapet must wrap around the entire length of the front and side of the buildings. Where parapets are not used, all rooftop mechanical equipment shall be screened. Parapets shall be limited to twenty (20) percent of the total height of the facade, unless the increased height is needed solely to screen the rooftop equipment.
iii.
If the building design includes cornices than they should be a minimum one (1) foot deep cornice and extend along the entire front of buildings and the sides of buildings at least ten (10) feet.
iv.
If the building design includes a contrasting base than it should be a minimum two (2) foot high contrasting base and extend along the entire front of buildings and down the sides of buildings at least ten (10) feet.
b)
Glazing.
i.
Reflective or heavily tinted glass shall be limited to twenty-five (25) percent of the linear length of any facade.
ii.
Glazing located on the ground floor of the primary and/or secondary facade of commercial structures shall be forty (40) percent or less.
2.
Accessory structures/uses. Structures shall be limited in size to twenty-five (25) percent of the primary structure or one thousand (1,000) square feet; whichever is less.
3.
Special design standards.
a)
Outdoor display. Commercial outdoor display areas, sales areas, and tents are prohibited, except in the following situations and subject to the following standards:
i.
Where a special event is held and a permit is issued.
ii.
This subsection does not apply to auto/boat/RV/storage building sales.
b)
Outdoor freestanding propane stations. Outdoor freestanding propane stations and storage facilities shall be opaquely screened from public view with landscaping or a fence meeting eighty (80) percent opacity.
c)
Retail garden center.
i.
Any merchandise typically associated with a retail garden center such as mulch, lawn equipment, propane items, barbeque grills, paving stones, landscaping timbers, bird baths, garden chemicals, etc. that is within two hundred fifty (250) feet of the corridor must be screened by either:
ii.
A six-foot high privacy fence; or
iii.
The items are screened by placing living plant materials such that these plants serve as a semi-opaque screen for the other materials, items and equipment.
d)
Fencing. Chain link fencing is prohibited except within an industrial area and only when screened by landscape material to create a six-foot tall opaque screen. If permitted, chain link fences, including posts and rails, shall be black, brown or green and vinyl coated. Fences exceeding six (6) feet in height shall have plantings on any side facing the main corridor or adjacent residentially zoned property, whichever is closer.
4.
Shipping/receiving docks. If no courtyard is present or the dock is located on the side of the structure then landscaping or a solid screen made of durable architectural materials used in the buildings primary facade shall be provided to ultimately create an opaque screen at least eight (8) feet in height. The screening shall be designed to obscure views from on and offsite public areas, except for necessary penetrations.
5.
Access management. To ensure that development within the overlay does not impact the carrying capacity or future improvement of the corridor, the following access management strategies shall be employed.
The use of shared access to serve adjacent parcels abutting the corridor is required for new lots where there is less than two hundred (200) feet of frontage on the corridor.
6.
Lighting.
a)
Mounting heights shall not exceed eighteen (18) feet except in areas where the total number of parking spaces exceeds one hundred (100); in such instances the light shall be no higher than twenty-five (25) feet provided they are limited to the central areas of the parking lot and lower fixtures not exceeding eighteen (18) feet in height are utilized along the primary vehicular/pedestrian corridors.
b)
If a light is within fifty (50) feet of a residentially zoned parcel, the height of the light shall be no greater than eighteen (18) feet with the fixture located along the edge of the parking area and light directed back into the site.
c)
Wherever possible, illumination of outdoor seating areas, building entrances, and walkways shall be accomplished by use of ground mounted fixtures not more than four (4) feet in height.
7.
Sign regulations.
a)
On-premise freestanding signs.
b)
Prohibited signs. Animated signs and full motion video signs are prohibited.
A.
Boundaries. Corridor and overlay are used interchangeably throughout these regulations. When referenced, it shall mean the area generally two hundred and fifty (250) feet to the east and west of the right-of-way lines between the established beginning and ending points specified in this section of the zoning ordinance.
The overlay zone shall follow along US 17 Business South from the Town of Surfside Beach south to the Horry County line.
B.
Development and design requirements. Development of specific uses in the Hwy 17 Business south overlay zone shall be consistent with the underlying zoning district. In addition to the requirements of the applicable underlying zoning district the following supplemental development regulations shall apply:
1.
Building exterior.
a)
Facades.
i.
Buildings wider than one hundred (100) feet shall be designed break up the scale of the building. This can be done using differing facade treatments including changes in color, material, articulation, windows, doors, etc. Principal facades facing overlay corridor may not have blank walls that exceed fifteen (15) feet in length without windows, doors or other decorative elements. Other building facades visible from the corridor or adjacent general customer areas must be designed so that no blank facade exceeds thirty (30) [feet] in width. The spacing shall be measured from edge of window, door or other decorative element to other element.
ii.
Where parapets are used, the parapet must wrap around the entire length of the front and side of the buildings. Where parapets are not used, all rooftop mechanical equipment shall be screened. Parapets shall be limited to twenty (20) percent of the total height of the facade, unless the increased height is needed solely to screen the rooftop equipment.
iii.
If the building design includes cornices than they should be a minimum one (1) foot deep cornice and extend along the entire front of buildings and the sides of buildings at least ten (10) feet.
iv.
If the building design includes a contrasting base than it should be a minimum two (2) foot high contrasting base and extend along the entire front of buildings and down the sides of buildings at least ten (10) feet.
b)
Glazing.
i.
Reflective or heavily tinted glass shall be limited to twenty-five (25) percent of the linear length of any facade.
ii.
Glazing located on the ground floor of the primary and/or secondary facade of commercial structures shall be forty (40) percent or less.
2.
Accessory structures/uses. Structures shall be limited in size to twenty-five (25) percent of the primary structure or one thousand (1,000) square feet; whichever is less.
3.
Special design standards.
a)
Outdoor display. Commercial outdoor display areas, sales areas, and tents are prohibited, except in the following situations and subject to the following standards:
i.
Where a special event is held and a permit is issued.
ii.
This subsection does not apply to auto/boat/RV/storage building sales.
b)
Outdoor freestanding propane stations. Outdoor freestanding propane stations and storage facilities shall be opaquely screened from public view with landscaping or a fence meeting eighty (80) percent opacity.
c)
Retail garden center.
i.
Any merchandise typically associated with a retail garden center such as mulch, lawn equipment, propane items, barbeque grills, paving stones, landscaping timbers, bird baths, garden chemicals, etc., that is within two hundred fifty (250) feet of the corridor must be screened by either:
ii.
A six-foot high privacy fence; or
iii.
The items are screened by placing living plant materials such that these plants serve as a semi-opaque screen for the other materials, items and equipment. (This is not a replacement for the required perimeter landscaping)
d)
Fencing. Chain link fencing is prohibited except within an industrial area and only when screened by landscape material to create a six-foot tall opaque screen. If permitted, chain link fences, including posts and rails, shall be black, brown or green and vinyl coated. Fences exceeding six (6) feet in height shall have plantings on any side facing the main corridor or adjacent residentially zoned property, whichever is closer.
4.
Shipping/receiving docks. If no courtyard is present or the dock is located on the side of the structure then landscaping or a solid screen made of durable architectural materials used in the buildings primary facade shall be provided to ultimately create an opaque screen at least eight (8) feet in height. The screening shall be designed to obscure views from on and offsite public areas, except for necessary penetrations.
5.
Lighting.
a)
Mounting heights shall not exceed eighteen (18) feet except in areas where the total number of parking spaces exceeds one hundred (100); in such instances the lights shall be no higher than twenty-five (25) feet provided they are limited to the central areas of the parking lot and lower fixtures not exceeding eighteen (18) feet in height are utilized along the primary vehicular/pedestrian corridors.
b)
If a light is within fifty (50) feet of a residentially zoned parcel, the height of the light shall be no greater than eighteen (18) feet with the fixture located along the edge of the parking area and light directed back into the site.
c)
Wherever possible, illumination of outdoor seating areas, building entrances, and walkways shall be accomplished by use of ground mounted fixtures not more than four (4) feet in height.
6.
Sign regulations.
a)
On-premise freestanding signs.
b)
Temporary and other.
i.
Flags are allowed as follows:
A.
Only two (2) flags shall be permitted.
B.
The flags shall not be flown higher than a 35-foot pole, measured from grade.
C.
Only one flag per pole up to six (6) feet by ten (10) feet, or two (2) flags per pole up to four (4) feet by six (6) feet, may be flown.
D.
The flag pole shall not be located within ten (10) feet of any adjacent right-of-way.
ii.
Temporary wall signage. One (1) Temporary wall banner on a property which has received a zoning compliance for a new business within the last 30 days.
iii.
Temporary ground sign.
A.
One (1) on-site temporary sign not exceeding eight (8) feet in height or sixteen (16) square feet in size; or
B.
One (1) temporary sign, no more than thirty-two (32) square feet in area, located on the property on which there is an active building permit or an active stormwater permit.
c)
Prohibited signs. The following signs shall be prohibited in the corridor:
Temporary signs except for what is allowed above.
A.
Boundaries. Corridor and overlay are used interchangeably throughout these regulations. When referenced, it shall mean the area generally two hundred and fifty (250) feet to the east and west of the right-of-way lines between the established beginning and ending points specified in this section of the Zoning Ordinance.
The Overlay zone shall follow along S. Kings Highway from the City of Myrtle Beach municipal limits south to the Town of Surfside municipal limits.
B.
Development and design requirements. Development of specific uses in the S. Kings Hwy Overlay Zone shall be consistent with the underlying zoning district. In addition to the requirements of the applicable underlying zoning district the following supplemental development regulations shall apply:
1.
Building.
a)
Facades.
i.
Building facades facing the corridor must include a repeating pattern with no less than three (3) of the elements listed below. At least one (1) of these elements shall repeat horizontally. All elements shall repeat at intervals of no more than thirty (30) feet, either horizontally or vertically.
A.
Color change.
B.
Texture change.
C.
Material module change.
ii.
No length of any front facade facing the corridor shall exceed thirty (30) linear feet without including at least one (1) of the following: pilasters, columns, offsets, reveals, projecting ribs canopies/porticos, colonnades, windows, trellis with vines, or an equivalent element that subdivides the wall into human scale proportions.
iii.
Shutters, if used, shall be sized so that they would fully cover the window opening if they were operable. Operable shutters are preferred, but not required.
iv.
Where parapets are not used, all rooftop mechanical equipment shall be screened. False parapets shall be limited to twenty (20) percent of the total height of the facade. The measurement shall be the average height of the parapet wall at each section of the facade as a ratio to width.
v.
Where sloping roofs are used on the front or sides of a building facing the corridor the cornices shall be a minimum of one (1) foot deep.
b)
Entrances. A minimum one (1) entrance shall front the primary corridor. A commercial or institutional building shall feature one (1) or more prominent entries on the primary facade highlighted by at least three (3) of the details listed below. Secondary entrances to smaller tenants in multi-tenant buildings shall also have at least two (2) of the features listed below.
i.
Canopies/porticos above the entrance;
ii.
Roof overhangs above the entrance;
iii.
Entry recesses/projections;
iv.
Arcades that are physically integrated with the entrance;
v.
Raised corniced parapets above the entrance;
vi.
Architectural details, such as tile work and moldings, that are integrated into the building structure and design; or
vii.
Integral planters or wing walls that incorporate landscaped areas or seating areas. A wing wall is a wall secondary in scale projecting from a primary wall and not having a roof.
c)
Glazing. Reflective or heavily tinted glass shall not be used on the primary or secondary facade.
2.
Accessory structures/uses. Accessory structures shall be limited in size to twenty-five (25) percent of the primary structure or one thousand (1,000) square feet; whichever is less.
3.
Special design standards.
a)
Fencing. Chain link security fence enclosures may only be utilized within industrial areas and only when screened by landscape material to create a six-foot tall opaque screen. If permitted, chain link fences, including posts and rails, shall be black, brown or green and vinyl coated.
b)
Outdoor freestanding propane stations. Outdoor freestanding propane stations and storage facilities shall be opaquely screened from public view with landscaping or a solid fence of vinyl, wood, stone or brick material. Fences exceeding six (6) feet in height shall have landscape plantings on any side facing the main corridor or residentially zoned property.
c)
Retail garden center. Any merchandise typically associated with a retail garden center other than living plant material such as mulch, lawn equipment, propane items, barbeque grills, paving stones, landscaping timbers, bird baths, garden chemicals, etc. that is within two hundred fifty (250) feet of the corridor must be screened by either:
i.
A six-foot high privacy fence; or
ii.
The items are screened by placing living plant materials, which may be for sale, such that these plants serve as a semi-opaque screen for the other materials, items and equipment. (This is not a replacement for the required perimeter landscaping)
d)
Outdoor storage. The following are requirements for outdoor storage in non-residential districts located within the Overlay. All uses with outdoor storage of any goods, materials, merchandise, equipment, parts, junk or vehicles (overnight parking) shall not be permitted unless in conformance with the following regulations:
i.
All proposed areas used for outdoor storage and the associated method of screening shall be indicated on an approved site plan.
ii.
Fencing shall consist of vinyl, wood, stone, or brick materials. Chain link, plastic or concrete materials are prohibited.
iii.
Outdoor storage shall observe the same setback requirements as that of the principal building.
iv.
Outdoor storage areas cannot be located forward of the principal building and when possible shall be located to the side of the building not facing a public street.
4.
Shipping/receiving areas. If no courtyard is present then landscaping or a solid screen made of durable architectural materials used in the buildings primary facade shall be provided to ultimately create an opaque screen at least eight (8) feet in height. The screening shall be designed to obscure views from on and offsite public areas, except for necessary penetrations.
5.
Driveway location and design.
a)
Driveway medians shall be improved with at least one (1), two and one-half-inch caliper canopy tree to reduce parking lot heat and glare for every fifty (50) feet of median length. Five (5) shrubs must be provided per tree. Two (2) understory trees may be substituted for each required canopy tree in areas constrained by overhead utility line or in limited cases at the discretion of the Planning Department to provide visibility to signage and or architectural features. The remaining area of the driveway median shall be planted with vegetation that complements the structure or a suitable groundcover. All landscaping shall be located so as to not impede any required sight triangles. Acceptable plant species, maintenance standards, and sizes to meet the above requirements are listed below.
b)
On site storage for entering and exiting vehicles shall be buffered from the parking area. Said buffer shall consist of an above grade landscaping strip no less than three (3) feet in width and vegetated with at least one (1) two and one-half-inch caliper canopy trees to reduce parking lot heat and glare for every twenty-five (25) feet of median length. Five (5) shrubs shall be provided per tree. Two (2) understory trees may be substituted for each required canopy tree in areas constrained by overhead utility lines or in limited cases at the discretion of the Planning Department to provide visibility to signage and or architectural features. The remaining area of the buffer shall be planted with vegetation that complements the structure or a suitable groundcover. Acceptable plant species, maintenance standards, and sizes to meet the above requirements are listed in Horry County Landscaping Booklet.
6.
Parking. To reduce the visual mass and enhance the appearance of parking areas from the corridor, the following standards shall be met:
a)
Parking plan. The maximum allowed number of parking spaces is one hundred ten (110) percent of the required number of off-street parking spaces. All parking spaces provided in excess of one hundred ten (110) percent of the required parking spaces shall consist of alternative pervious paving materials unless this creates a requirement where the number of pervious spaces is five (5) or less. In such cases all parking may be impervious.
7.
Lighting height.
a)
Mounting heights shall not exceed eighteen (18) feet except in areas where the total number of parking spaces exceeds one hundred (100); in such instances the lights shall be no higher than twenty-five (25) feet provided they are limited to the central areas of the parking lot and lower fixtures not exceeding eighteen (18) feet in height are utilized along the primary vehicular/pedestrian corridors.
b)
If a light is within fifty (50) feet of a residentially zoned parcel, the height of the light shall be no greater than eighteen (18) feet with the fixture located along the edge of the parking area and light directed back into the site.
c)
Wherever possible, illumination of outdoor seating areas, building entrances, and walkways shall be accomplished by use of ground mounted fixtures not more than four (4) feet in height.
8.
Sign regulations.
a)
Off-premise signage. No new or additional off-premise signs shall be allowed or permitted in the defined area of this corridor Overlay Zone unless it meets the following:
i.
Off-premise signs must be one thousand two hundred (1,200) feet apart except for digital billboards which must meet a separation of two thousand four hundred (2,400) feet from other digital billboards.
ii.
Digital billboards cannot be located within five hundred (500) feet of a residential zone or used property.
b)
On-premise signs.
i.
Allowed signage.
ii.
Signage design standards.
A.
Maximum number of tenant sign panels incorporated into the freestanding sign:
B.
Parcel(s) less three (3) acres may have up to six (6) tenant panels.
C.
Parcel(s) greater than or equal to three (3) acres may have up to eight (8) tenant panels.
D.
The maximum size of the background structure of a sign shall not exceed one hundred ten (110) percent of the total square footage of copy area. Branded architectural elements shall not count as background structure.
E.
The portion of the sign on which tenant names are displayed does not exceed eighty-five (85) percent of the total sign area; and
F.
Branded architectural elements shall not count towards the maximum allowable copy area. Branded elements shall not exceed thirty (30) percent of the allowed copy area. Area shall be measured as the smallest box capable of containing all design elements.
c)
Building signs.
d)
Temporary and other.
i.
Temporary wall signage. One (1) Temporary wall banner on a property which has received a zoning compliance for a new business within the last 30 days.
ii.
Temporary ground sign.
A.
One (1) on-site temporary sign not exceeding eight (8) feet in height or sixteen (16) square feet in size; or
B.
One (1) temporary sign, no more than thirty-two (32) square feet in area, located on the property on which there is an active building permit or an active stormwater permit.
e)
Prohibited signs. The following signs shall be prohibited in the overlay:
i.
Animated and full motion video signs are prohibited.
ii.
Temporary signs except for what is allowed above.
A.
Purpose. The purpose of the Little River Overlay Zone is established to impose height restrictions on all new construction in the area to prevent over development and development that is incompatible with the area.
B.
Boundaries. The Little River Area Overlay Zone shall begin at the intersection of Golf Avenue, Highway 90 and Highway 17 and Kingsport Road and terminate at the North Carolina State Line. Furthermore, the overlay shall extend 500 feet to the north, northwest of the right-of-way line of Highway 17 and shall extend to the Atlantic Ocean on the east and include the North Myrtle Beach Marina.
C.
Applicable height restrictions. The height of all new construction within the Little River Height Overlay shall not exceed sixty (60') feet, unless the property is rezoned to a Planned Development District (PDD). A height of up to one hundred twenty (120') feet may be approved in a PDD.
A.
Purpose. This overlay zone exists to ensure current operations and future expansions of Horry County's publicly-owned and operated aviation facilities are not hindered by encroachment of structures or objects into required aircraft approach paths or airspace. Protection of such spaces is necessary to ensure compliance with Federal Aviation Administration (FAA) guidelines relative to general aviation airports, to ensure the safety and efficiency of air navigation, to prevent conflict with land development that may result in loss of life and property, to encourage development that is compatible with airports, and to preserve and protect the public investment in Horry County's aviation facilities.
B.
Applicability. The Airport Environs Overlay Zone shall govern all properties in unincorporated Horry County that fall within the (1) Runway Protection Zone, (2) Inner Approach Zone, (3) Transitional Zone, (4) Outer Approach Zone, (5) Horizontal Zone, (6) Conical Zone, and (6) Future Use Protection Zone, as identified by the South Carolina Aeronautics Commission's Airport Compatible Land Use Evaluation Tool for Myrtle Beach International Airport (MYR), Grand Strand Airport (CRE), Conway-Horry County Airport (HYW), and Loris-Twin Cities Airport (5J9), and as shown in the Airport Environs Overlay Map.
C.
Use and height restrictions. No permanent or temporary use may be made of areas, land or water within any zone established by this ordinance in such a manner as to:
1.
Create electrical interference with navigational signals or radio communications between the airport, aircraft, and/or any Air Traffic Control Facility, whether such facility is operated by the FAA (or its successor) or operated by a non-FAA entity; or
2.
Make it difficult for pilots to distinguish between airport lights and others, resulting in glare in the eyes of pilots using the airport, create bird strike hazards, or otherwise in any way creating a hazard or endangering the landing, takeoff, or maneuvering of aircraft intending to use the airport.
3.
Conflict with land use recommendations made by the South Carolina Aeronautics Commission through the Airport Compatible Land Use Evaluation Tool. Any of the following shall require a review by the SC Aeronautics Commission and Horry County Department of Airports, and may require a review by the FAA:
4.
A Determination of No Hazard to Air Navigation from the FAA shall be required for any new permanent or temporary structure over 200 feet tall within the overlay zone.
D.
Review authority. The Horry County Planning and Zoning Department will be the development review authority in the unincorporated areas in the vicinity of the airport facilities. The Horry County Planning and Zoning Department will act as liaison to the Horry County Department of Airports to solicit comments and recommendations regarding proposed development or redevelopment within the airport environs overlay. The Horry County Department of Airports will coordinate with the FAA to ensure compliance with the Federal Aviation Regulations (FAR) Part 77.
A.
Purpose. The Temporary Vending Overlay Zones are established to provide limits on the number of temporary vending permits that may be issued in conjunction with festivals, fairs, or special events occurring within the county. Issuance of temporary vending permits within the zones established below shall follow the standards established in this section.
B.
Boundaries. The Temporary Vending Overlay Zones (TVOZ) are defined as:
1.
Southern Strand Temporary Vending Overlay (SSTVO). The SSTVO is defined as the area bounded on the north by South Carolina Highway 501, on the east by the Atlantic Ocean, on the south by the Horry/Georgetown County line, and the west by the Intracoastal Waterway.
2.
Northern Strand Temporary Vending Overlay (NSTVO). The NSTVO is defined as the area bounded on the north by the North Carolina/South Carolina State line, on the east by the Atlantic Ocean, on the south by the South Carolina Highway 501, and the west by the Intracoastal Waterway.
3.
Southern Waccamaw Temporary Vending Overlay (SWTVO). The SWTVO is defined as the area bounded on the north by the South Carolina Highway 501, on the east by the Intracoastal Waterway, on the south by the Horry/Georgetown County line, and the west by the Waccamaw River.
4.
Northern Waccamaw Temporary Vending Overlay (NWTVO). The NWTVO is defined as the area bounded on the north by the North Carolina/South Carolina State line, on the east by the Intracoastal Waterway, on the south by the South Carolina Highway 501, and the west by the Waccamaw River.
5.
Western Temporary Vending Overlay (WTVO). The WTVO is defined as the area of Horry County west of the Waccamaw River.
C.
Permitting restrictions.
1.
No more than seventy-five (75) temporary vending permits shall be issued in each of the following overlay zones for the spring or fall bike rallies or other fair, festival, or special event: SSTVO, NSTVO, SWTVO, and NWTVO. In the SSTVO, no more than twenty-five (25) of the allotted seventy-five (75) permits shall be issued for locations south of S.C. Highway 544.
2.
No more than one hundred (100) temporary vending permits shall be issued in the WTVO for the spring or fall bike rallies or other fair, festival, or special event.
3.
No temporary vending permits shall be issued for areas located within the South Carolina Highway 501 Overlay.
D.
Conditions. Temporary vendors for festivals, fairs and special events subject to the following conditions:
1.
Temporary vending shall be allowed as accessory uses to existing businesses provided that;
a)
The existing location is of sufficient size to accommodate additional traffic and vending booths shall not displace more than thirty (30) percent of the existing business parking lot.
b)
Vending booths as a conditional use or structure shall be setback twenty (20) feet from the right-of-way line of any public or private roadway. They shall have a minimum separation of six (6) feet from the principal structure or other uses upon the lot. No more than four (4) vending booths may be joined together without providing a minimum six-foot separation between them and adjacent vending booths.
c)
No vending booth shall be closer than five (5) feet to any abutting side or rear property line. If the property is surrounded by a privacy fence, of at least six (6) feet in height, the side and rear setbacks shall not apply.
d)
Businesses allowing vending shall provide two (2) parking spaces per vendor and the area for vending parking shall be designated as "vehicle parking only" and cordoned off from pedestrian and all other uses.
2.
Temporary vending shall be allowed on vacant lots in zoning districts allowing retail sales provided;
a)
The vacant lot is of sufficient size to accommodate additional traffic and vending booths.
b)
No vending booths shall be located on the lot closer than twenty-five (25) feet to any property line abutting a street and no closer than ten (10) feet to any other property line and separated from other vending uses by six (6) feet.
c)
Any vacant lot where the property line abuts a residential use or zoning district shall not be allowed to accommodate a vending use.
d)
Vacant lots allowing vending uses shall provide three (3) parking spaces per vendor and provide a designated area on the lot where they are located strictly for vehicle parking only to accommodate this requirement. The designated area shall not be closer than ten (10) feet to the highway right-of-way.
3.
Temporary signage must be permitted in compliance with § 610.
a)
Temporary signage for such locations that allow vending shall be restricted to locating all signage to the vending booth, which is permitted.
b)
No signage other than one (1) temporary road frontage sign advertising the location/name of the vending area shall be permitted.
4.
A site plan drawn to scale shall be required showing vendor location, setbacks, existing parking, and designated reserved parking area for vendors and signage location.
5.
A letter and/or copy of an official lease agreement from the property owner and a copy of the property owner's business license must be provided where vending permits are requested.
6.
Temporary vending booths selling alcoholic beverages shall be separated one hundred (100) feet from other temporary vending booths selling alcohol beverages.
7.
All vending locations shall provide proof (receipts for services) of bathroom facilities and litter containment and removal during the permitting process.
8.
Any vending location that occupies houses or stores a recreation vehicle for vending or overnight purposes shall be limited to the lot on which they are permitted otherwise; RV's shall not be used or stored on any other location other than in the zoning district that they are allowed (Destination Park Zoning District).
9.
The property owner/lessee or assigns shall be responsible for any violation of this section or any other sections of the Horry County Code of Ordinances. Such violations may result in the revocation or denial of a Certificate of Zoning Compliance for this or any future use as a festival, fair or special event.
10.
Non profit organizations, exempt from obtaining an Horry County Business License, that sponsor events at which temporary vending occurs shall be required to obtain one (1) Zoning Compliance for such vending locations. A site plan shall be submitted showing the designated area (i.e. blocks, streets, or group of parcels) of-such vending locations. If parking is not being provided within the designated area, the non-profit organization shall provide proof that off-street parking has been reserved and designated to accommodate event patrons. Non profit organizations shall be exempt from certificate of zoning compliance fees.
11.
Permits will be valid for the approved dates of such event. No permits will be issued earlier than ninety (90) days prior to the scheduled event and vendors may not setup booths prior to the scheduled event.
12.
Temporary vending fees shall be as follows: *
* Vendors located within Loris Fairgrounds are not normally subject to temporary vending fees. However, due to the public safety costs incurred during bike rallies, temporary vendors located within Loris Fairgrounds or other similar venues shall be subject to the vending fees set forth herein.
A.
Purpose.
1.
The overlay zone is established to provide standards relative to neighborhood appearance and safety in the residential areas surrounding and adjacent to Coastal Carolina University. Furthermore, the overlay is established to provide occupancy limits relative to the residential areas surrounding and adjacent to Coastal Carolina University in order to promote a sense of place in an orderly neighborhood context. The purpose and intent of the governing authority of the county in enacting this section is as follows:
a)
To protect the health, safety and general welfare of the citizens of the county through the enactment of a set of regulations governing property maintenance in the Coastal Carolina University Neighborhood Overlay Zone.
b)
To preserve the value of property and maintain for the county's residents, workers and visitors a safe and aesthetically attractive environment.
2.
When any existing county ordinance is amended, the more restrictive provisions of such revised ordinance shall apply even if these overlay zone standards are less restrictive.
3.
The following standards provide the minimum requirement that must be met in order to receive Planning Department/Commission authorization to develop, redevelop or occupy residential property within the overlay zone as established by the zoning ordinance.
4.
The standards established herein address only neighborhood occupancy, appearance and safety concerns. Specific zoning-related standards are established in the zoning ordinance and must also be met prior to beginning development or redevelopment activities in the overlay zone.
B.
Applicability.
1.
The boundaries of the overlay zone are established herein. The standards that follow shall be applicable to any residential building with an issued certificate of occupancy, and any residential building substantially modified and/or newly constructed that is located partially or completely as established in the boundaries subsection of this section. Construction or renovation that is interior to the structure is exempt from these regulations.
2.
Any parcel completely contained in the overlay shall comply with these regulations.
C.
Boundaries. Corridor and overlay are used interchangeably throughout these regulations. When referenced, it shall mean those residential properties within the following subdivisions of record: Quail Creek, Quail Creek Village, College Park, College Place and Barberry Drive. A complete list of associated TMS is available by request in the Planning and Zoning Department. The map shown below indicates the boundaries of this overlay.
D.
Definitions.
"Owner" is defined as any person, firm, corporation or entity who, alone or jointly or severally with others:
1.
Has legal title to any dwelling or dwelling unit, with or without accompanying actual possession thereof; or
2.
Has charge, care or control of any dwelling or dwelling unit, as owner or agent of the owner, prime tenant, or as executor, executrix, administrator, administratrix, trustee or guardian of the estate of the owner. Any such person thus representing the actual owner shall be bound to comply with the provisions of this article to the same extent as the owner.
E.
Occupancy of dwelling units. The number of individuals unrelated by blood, marriage, adoption, guardianship or other duly authorized custodial relationship residing in a dwelling unit within this overlay shall not exceed the number of bedrooms in the dwelling, as determined by county records, but shall not exceed four (4), irrespective of the number of bedrooms. The owner, agent and tenants shall be subject to the penalties established in Article I of the Horry County Zoning Ordinance for a violation of this occupancy limit.
F.
Parking requirements. A violation of any of the parking requirements herein detailed shall be considered unlawful and the owner, agent and tenant shall be subject to the penalties described in Article I of the Horry County Zoning Ordinance. Between the hours of 11:00 p.m. and 8:00 a.m. every day:
1.
No vehicle shall be parked within the right-of-way within the boundaries of the overlay as defined herein.
2.
Vehicles shall be parked in an off-street facility, including private garages, drives and aisles for maneuvering and gaining ingress and egress, of a residence within the boundary of the overlay.
3.
Landscaped, unimproved and naturally vegetated areas shall not be used as parking facilities.
4.
Areas of drainage and open space, as specified on the recorded subdivision plat, shall not be improved or used for parking facilities unless documented as such on the original plat of record.
G.
Effective date.
1.
This overlay shall become effective upon approval from Horry County Council.
2.
The occupancy restrictions herein contained shall not be applicable for any documented unexpired leases existing as of the date of effectiveness. Said leasehold properties shall be allowed to continue their contractual period, not to exceed December 31, 2009. Beginning January 1, 2010, all properties included in this overlay as defined herein, shall be subject to all provisions herein, regardless of contractual obligations.
A.
Purpose.
1.
The Racepath Community Priority Investment Overlay Zone is herein established to implement strategies identified in the Racepath Neighborhood Plan by providing standards relative to land tenure and density in the continued use, creation, and redevelopment of housing within the community.
2.
The zone is established to provide unified standards and requirements for minimum lot size, building setbacks, and multiple structures on a single parcel as defined herein.
3.
The standards herein shall be permitted regardless of the underlying zoning. When any existing county ordinance is amended, the standards herein shall remain applicable to properties located within the Zone.
B.
Applicability. The standards herein shall be applicable to any existing residential parcel having multiple structures that is located within the boundaries of the Priority Investment Zone.
C.
Boundaries. The Racepath Community Priority Investment Zone generally is bounded by Robert Grissom Parkway to the North, the City of Myrtle Beach Stormwater right-of-way to the West, and those parcels internal to the community fronting or accessed from Racepath Street. The map shown below indicates the boundaries of this overlay.
D.
Multiple structures. Multiple structures shall be allowed on residential parcels within the Zone provided the following standards are met:
1.
All structures shall adhere to the setbacks herein;
2.
Must maintain a 10 foot separation between homes;
3.
No more than two (2) residential units on any parcel less than one-half (½) acre in area;
4.
No more than four (4) residential units on any parcel greater than one-half (½) to one (1) acre in area; and
5.
No more than six (6) structures on any parcel.
E.
Setbacks. Setbacks in the Zone are as follows, regardless of the underlying zoning:
F.
Occupancy. Occupancy of parcels with multiple residential structures shall not be limited by blood, marriage, adoption, guardianship or other duly authorized custodial relationship.
A.
Purpose. The Garden City Overlay is established to impose height, road frontage, minimum lot width at building setback line, side setbacks and parking restrictions on new and redeveloping construction in the area to prevent over development and development that is incompatible with the character of the area.
B.
Boundaries. The Garden City Overlay shall begin at the southeastern city limit line of Surfside Beach and shall terminate at the Horry County/Georgetown County Line, as shown in the map titled Garden City Overlay. The Garden City Parking District, included within the Garden City Overlay, shall be bounded on the northeast by Oceanside Village (Bermuda Bay and Myrtlewood) subdivisions and shall terminate at Atlantic Avenue on the south. It is bounded on the west by residential properties closest to Highway 17 Business South and on the East generally by the marsh.
C.
Applicable height restrictions. The height of all new construction within the Garden City Overlay shall not exceed thirty-five feet (35'), except those areas designated on the attached map, or unless rezoned as a Planned Development District (PDD). A height of up to one hundred eighty feet (180') may be approved in a PDD.
D.
Applicable parking restrictions. All new and redeveloping residential construction shall submit a parking plan prior to the issuance of a building permit. The minimum parking required is one (1) space per bedroom. Parking shall meet the setbacks of the applicable zoning district (and be located entirely within the buildable area of the property) and meet the dimensional and improvement standards of Article VII.
E.
Applicable minimum road frontage and side setbacks. The road frontage and minimum lot width at building setback line for all lots zoned SF6 within the Garden City Overlay shall meet a minimum width of forty feet (40') and the side setbacks for those lots shall meet a minimum distance of seven and one-half feet (7.5') from the property line. All other requirements of Article VIII shall remain the same.
F.
Applicable dimensional standards for beach adjacent properties. These standards are applicable to all lots in the Garden City Overlay Zone that provides for a building height of fifty-five feet (55') or greater. The single family use must be permitted in the zoning district to gain access to these standards. These standards do not apply to MHP or existing MRD, PUD and PDD zoning districts. Existing MRD, PUD and PDD zoning may apply for these standards with an amendment.
1.
Minimum lot size.
a)
Single Family: 3,600 Square Feet.
2.
Minimum lot frontage and lot width at building setback line.
a)
Single Family: Thirty Feet (30').
3.
Setbacks for single family. These setbacks will be exempt from the Double Frontage and Corner lot provisions outlined in § 205.B.3 and 4.
a)
Front yard setback: Twenty (20) feet.
b)
Side yard setback: Five (5) feet.
c)
Corner Side yard setback: 7.5 (Seven and one-half) feet.
d)
Rear yard setback: Fifteen (15) feet.
(Ord. No. 41-2023, § 2, 5-16-23)
A.
Purpose. The purpose of the Veteran's Highway Overlay Zone is to preserve the exceptional scenic value of the highway and maintain the serene farm field and natural vistas from the highway for all travelers to enjoy.
B.
Boundaries. The Veteran's Highway Overlay Zone provides supplemental sign regulations. The overlay zone extends one thousand (1,000) feet of the right-of-way line on either side of Veteran's Highway.
C.
Applicable sign regulations.
1.
On-site signage.
a)
Maximum height of signs shall be 35 ft.
b)
No more than one (1) sign per parcel shall be directed towards Veterans Hwy.
2.
Wall signage.
a)
One (1) wall sign no greater than 15 percent of the wall area shall be permitted per wall face.
b)
Only one (1) wall sign shall be visible from Veteran's Highway.
3.
Prohibited signs. Animated signs and full motion video signs are prohibited.