Zones R-1 And R-2
In this zone, no land or use shall be permitted except those designated below.
(Ord. 13-02)
The minimum lot area for a single family dwelling is 9,900 square feet. (Ord. 13-02)
No building shall be erected to a height greater than two and one-half (2½) stories or thirty-five (35) feet except as otherwise provided. No dwelling structure shall be erected to a height of less than ten feet.
Manufactured housing will be permitted in zones R-1 & R-2, subject to the provisions of HCC 17.76 and all other applicable ordinances and regulations of Hyrum City.
Two-family accessory apartments are permitted in this zone provided the following conditions are met:
A notarized letter is required stating that the owner will continue to occupy this residence and that all the conditions for an accessory apartment have and will continue to be met. Utility account will be under the property owners name. Typically, a single electric meter and single culinary water meter will provide services to the dwelling. Two monthly service charges will be billed for sewer and culinary water. (Ord. 09-04)
Public structures such as electrical, gas, telephone transmission, and fire stations are permitted within this zone provided the following conditions are met:
The requirements of this title as to minimum lot area or lot width shall not be construed to prevent the use of a lot, which does not conform, for a single-family dwelling provided the lot was held in separate ownership prior to January 28, 1976.
Any lot which was a legal building lot before a government action reduced it in size, or reduced an existing home’s setback, will continue to be considered a suitable building lot and will not be subject to nonconforming or restricted status, provided that at least eighty percent (80%) of the property prior to the pre-government action remains. An example of a government action would be property taken towiden a road.
No required yard or other open space around an existing building, or which is hereafter provided around any building, shall be considered as providing a yard or open space for any other building, nor shall any yard or open space on an adjoining lot be considered as providing a yard or open space on a lot whereon a building is to be erected.
Every dwelling shall be located and maintained on a lot as defined in this title.
Lots meeting all area and frontage requirements, but whose severance will or has created a flag lot are acceptable as a building site provided that all of the following conditions are met:
Example:
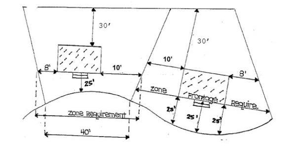
On any lot under separate ownership from adjacent lots and of record as of January 28, 1976, and such lot having narrower width than required for the zone in which it is located, the widths of the side yards may be reduced as follows:
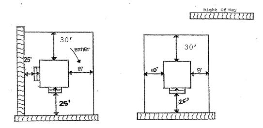
Every part of a required yard shall be open to the sky, unobstructed except for accessory buildings in a rear yard, the ordinary projections of skylights, sill, belt course, cornices, roof overhang, chimneys, flues and other ornamental features which project into a yard not more than four (4) feet, and open or lattice-enclosed fire escapes, fireproof outside stairways and balconies upon fire towers projecting into a yard not more than five (5) feet. One side yard shall remain unencumbered for a minimum of ten (10) feet to allow vehicular access to the back yard.
No wall, fence or hedge shall extend onto the City rights of-way and shall be located at least one (1) foot behind the sidewalk. Walls and fences shall be constructed of substantial material and the design and construction will be consistent with the quality of dwellings and other improvements within the surrounding area. (Ord 09-04)
No accessory building nor group of accessory buildings in any residential zone shall cover more than fifty (50) percent of the rear yard.
Penthouse or roof structures for the housing of elevators, stairways, tanks, ventilating fans or similar equipment required to operate and maintain the building, and fire or parapet walls, skylights, towers, steeples, flagpoles, chimneys, smokestacks, water tanks, wireless or television masts, theater lofts, silos or similar structures may be erected above the height limits herein prescribed, but no space above the height limit shall be allowed for the purpose of providing additional floor space.
No dwelling shall be erected to a height of less than one story above ground.
In all zones which require a front yard, no obstruction to view in excess of four (4) feet in height shall be placed on any corner lot within a triangular area formed by the street property lines and a line connecting them at points forty (40) feet from the intersection of the street lines except a reasonable number of trees pruned high enough to permit unobstructed vision to motorists. The height of a fence, wall, etc., located in the forty (40) foot triangle area, may be similarly increased or decreased when grade changes warrant adjustments as approved by the Zoning Administrator. Nothing in this section shall be construed so as to further restrict fence height regulations providing all fence materials meet minimum visibility standards established by the Planning Commission so as not to obstruct or restrict vision to motorists and pedestrians. (Ord. 09-04)
No building permits shall be issued for lots that do not conform to this title unless specially approved by the Administrative Appeals Hearing Officer, or unless a special exception applies. (Ord. 08-19)
Lot line adjustments will require the approval of the Zoning Administrator or City Recorder in accordance with the provisions of HCC 16.16.200 prior to recording with the Cache County Recorder to ensure that restricted or non-conforming lots are not produced by this action.
No building permits shall be issued on restricted lots as defined in HCC 17.04, with the exception of lots which fully conform to area and frontage requirements, but have been severed in such a manner as to make a lot behind them a flag lot per HCC 17.28.105.
No used structures shall be moved into or within the corporate limits of Hyrum City without first obtaining a building permit from the City. This restriction does not apply to temporary storage of items designed for recreational use such as campers, boats, etc.
There shall be provided at the time of erection of any building or at the time any main building is enlarged or increased in capacity, minimum off-street hard surface parking space with adequate provisions of ingress and egress by standard-sized automobiles as hereinafter provided.
Except as herein provided, no building or structure shall be erected, altered or converted for or to any use unless there shall be provided on the lot or parcel vehicle parking of at least the following ratio of vehicle spaces for the uses specified in the designated districts, except that an established use lawfully existing at the effective date of this title need not provide parking as herein set forth and that no existing vehicle parking may be reduced or further reduced below the minimum standards herein required.
The following schedule shall apply:
Every parcel of land hereafter used as a parking lot shall be paved with a surfacing material of asphalt or concrete composition and shall have appropriate bumper guards, where needed, as determined by the City Engineer. Any lights used to illuminate the lot shall be so arranged as to reflect the light away from adjoining premises in any residential zone.
On the same premises with every building structure or part thereof, erected and occupied or increased in capacity after the effective date of this title involving the receipt or distribution by vehicle of materials or merchandise, there shall be provided and maintained on the lot, adequate space for standing, loading and unloading services in order to avoid undue interference with public use of streets or alleys. Such space shall be located an adequate distance from the roadway so as not to interfere with the view of any intersecting street or alley or other traffic which may be in the area. Such space shall include a minimum of fourteen (14) feet height clearance to accommodate large delivery trucks.
Public parking lots, and all other businesses requiring motor vehicle access shall meet the requirements as hereinafter provided.
Zones R-1 And R-2
In this zone, no land or use shall be permitted except those designated below.
(Ord. 13-02)
The minimum lot area for a single family dwelling is 9,900 square feet. (Ord. 13-02)
No building shall be erected to a height greater than two and one-half (2½) stories or thirty-five (35) feet except as otherwise provided. No dwelling structure shall be erected to a height of less than ten feet.
Manufactured housing will be permitted in zones R-1 & R-2, subject to the provisions of HCC 17.76 and all other applicable ordinances and regulations of Hyrum City.
Two-family accessory apartments are permitted in this zone provided the following conditions are met:
A notarized letter is required stating that the owner will continue to occupy this residence and that all the conditions for an accessory apartment have and will continue to be met. Utility account will be under the property owners name. Typically, a single electric meter and single culinary water meter will provide services to the dwelling. Two monthly service charges will be billed for sewer and culinary water. (Ord. 09-04)
Public structures such as electrical, gas, telephone transmission, and fire stations are permitted within this zone provided the following conditions are met:
The requirements of this title as to minimum lot area or lot width shall not be construed to prevent the use of a lot, which does not conform, for a single-family dwelling provided the lot was held in separate ownership prior to January 28, 1976.
Any lot which was a legal building lot before a government action reduced it in size, or reduced an existing home’s setback, will continue to be considered a suitable building lot and will not be subject to nonconforming or restricted status, provided that at least eighty percent (80%) of the property prior to the pre-government action remains. An example of a government action would be property taken towiden a road.
No required yard or other open space around an existing building, or which is hereafter provided around any building, shall be considered as providing a yard or open space for any other building, nor shall any yard or open space on an adjoining lot be considered as providing a yard or open space on a lot whereon a building is to be erected.
Every dwelling shall be located and maintained on a lot as defined in this title.
Lots meeting all area and frontage requirements, but whose severance will or has created a flag lot are acceptable as a building site provided that all of the following conditions are met:
Example:
On any lot under separate ownership from adjacent lots and of record as of January 28, 1976, and such lot having narrower width than required for the zone in which it is located, the widths of the side yards may be reduced as follows:
Every part of a required yard shall be open to the sky, unobstructed except for accessory buildings in a rear yard, the ordinary projections of skylights, sill, belt course, cornices, roof overhang, chimneys, flues and other ornamental features which project into a yard not more than four (4) feet, and open or lattice-enclosed fire escapes, fireproof outside stairways and balconies upon fire towers projecting into a yard not more than five (5) feet. One side yard shall remain unencumbered for a minimum of ten (10) feet to allow vehicular access to the back yard.
No wall, fence or hedge shall extend onto the City rights of-way and shall be located at least one (1) foot behind the sidewalk. Walls and fences shall be constructed of substantial material and the design and construction will be consistent with the quality of dwellings and other improvements within the surrounding area. (Ord 09-04)
No accessory building nor group of accessory buildings in any residential zone shall cover more than fifty (50) percent of the rear yard.
Penthouse or roof structures for the housing of elevators, stairways, tanks, ventilating fans or similar equipment required to operate and maintain the building, and fire or parapet walls, skylights, towers, steeples, flagpoles, chimneys, smokestacks, water tanks, wireless or television masts, theater lofts, silos or similar structures may be erected above the height limits herein prescribed, but no space above the height limit shall be allowed for the purpose of providing additional floor space.
No dwelling shall be erected to a height of less than one story above ground.
In all zones which require a front yard, no obstruction to view in excess of four (4) feet in height shall be placed on any corner lot within a triangular area formed by the street property lines and a line connecting them at points forty (40) feet from the intersection of the street lines except a reasonable number of trees pruned high enough to permit unobstructed vision to motorists. The height of a fence, wall, etc., located in the forty (40) foot triangle area, may be similarly increased or decreased when grade changes warrant adjustments as approved by the Zoning Administrator. Nothing in this section shall be construed so as to further restrict fence height regulations providing all fence materials meet minimum visibility standards established by the Planning Commission so as not to obstruct or restrict vision to motorists and pedestrians. (Ord. 09-04)
No building permits shall be issued for lots that do not conform to this title unless specially approved by the Administrative Appeals Hearing Officer, or unless a special exception applies. (Ord. 08-19)
Lot line adjustments will require the approval of the Zoning Administrator or City Recorder in accordance with the provisions of HCC 16.16.200 prior to recording with the Cache County Recorder to ensure that restricted or non-conforming lots are not produced by this action.
No building permits shall be issued on restricted lots as defined in HCC 17.04, with the exception of lots which fully conform to area and frontage requirements, but have been severed in such a manner as to make a lot behind them a flag lot per HCC 17.28.105.
No used structures shall be moved into or within the corporate limits of Hyrum City without first obtaining a building permit from the City. This restriction does not apply to temporary storage of items designed for recreational use such as campers, boats, etc.
There shall be provided at the time of erection of any building or at the time any main building is enlarged or increased in capacity, minimum off-street hard surface parking space with adequate provisions of ingress and egress by standard-sized automobiles as hereinafter provided.
Except as herein provided, no building or structure shall be erected, altered or converted for or to any use unless there shall be provided on the lot or parcel vehicle parking of at least the following ratio of vehicle spaces for the uses specified in the designated districts, except that an established use lawfully existing at the effective date of this title need not provide parking as herein set forth and that no existing vehicle parking may be reduced or further reduced below the minimum standards herein required.
The following schedule shall apply:
Every parcel of land hereafter used as a parking lot shall be paved with a surfacing material of asphalt or concrete composition and shall have appropriate bumper guards, where needed, as determined by the City Engineer. Any lights used to illuminate the lot shall be so arranged as to reflect the light away from adjoining premises in any residential zone.
On the same premises with every building structure or part thereof, erected and occupied or increased in capacity after the effective date of this title involving the receipt or distribution by vehicle of materials or merchandise, there shall be provided and maintained on the lot, adequate space for standing, loading and unloading services in order to avoid undue interference with public use of streets or alleys. Such space shall be located an adequate distance from the roadway so as not to interfere with the view of any intersecting street or alley or other traffic which may be in the area. Such space shall include a minimum of fourteen (14) feet height clearance to accommodate large delivery trucks.
Public parking lots, and all other businesses requiring motor vehicle access shall meet the requirements as hereinafter provided.