- SUBDIVISION STANDARDS
9.1.1
INTENT
It is the intent of this article to provide minimum standards for the conversion of unplatted lands to subdivisions and for the resubdivision of parcels to protect the public health, safety and general welfare, promote the orderly layout of development sites and streets, provide for proper light and air, and provide for transportation, potable water, wastewater collection, flood prevention, drainage, recreation and other services.
9.1.2
APPLICABILITY
These regulations shall govern subdivisions and resubdivisions of land within the corporate limits of the City of Lakeland. Standards set forth herein for the platting of subdivisions and the construction of streets and other facilities for subdivisions shall apply to both publicly dedicated and private streets and other facilities.
9.1.3
AUTHORITY
The authority for enforcement of these regulations is provided in the Charter, City of Lakeland and Florida Statutes, Chapters 163, 166 and 177.
Subdivision Improvement: Any roadway facility, water distribution facility, wastewater collection facility, stormwater drainage facility, electric distribution facility, pedestrian and bicycle facility, transit facility, street trees, landscaping or other improvements which are required to be constructed or installed to serve a subdivision in accordance with these regulations and the Engineering Standards Manual.
Subdivision Improvement—Private: Any subdivision improvement which will be owned and maintained by a non-governmental entity such as a property owners or homeowners association.
Subdivision Improvement—Public: Any subdivision improvement which will be conveyed to the City of Lakeland or which the city is responsible for assuring compliance with the regulations of other governmental entities.
Subdivision Plat—Final: A map or drawing depicting the exact division of land into lots, blocks, parcels, tracts, sites or other divisions, as set forth in Chapter 177, Florida Statutes, which has been prepared in the stipulated format for the purpose of recording with the Polk County Clerk of the Circuit Court.
Subdivision Plat—Preliminary: A detailed map or drawing depicting the proposed division of land into lots, blocks, parcels, tracts, sites, or other divisions for the purpose of technical review prior to the submission of a Final Subdivision Plat.
Subdivision Review Procedures: Written administrative procedures specifying detailed requirements and procedures for the submittal and review of subdivision plats and construction plans. Such procedures, including a schedule of required fees, are subject to amendment from time to time.
Subdivision Review Team: An internal review team composed of the directors of each city department having responsibility for enforcement of the subdivision regulations, or their designees.
9.3.1
ADMINISTRATION
9.3.1.1
City of Lakeland Planning and Zoning Board
The Planning and Zoning Board shall be responsible for regulating the layout of new subdivisions. The Planning and Zoning Board shall exercise this responsibility by reviewing applications for final plat approval and approving or disapproving based on conformance with the requirements of these regulations and other applicable municipal regulations.
9.3.1.2
Director of Community Development
The Director of Community Development shall be responsible for assisting the Planning and Zoning Board in carrying out its responsibility for regulating the layout of new subdivisions and resubdivisions. The director or his designee shall exercise this responsibility by reviewing and approving preliminary plats and by reviewing and recommending approval or disapproval of final plats. Reviews, approvals, disapprovals and recommendations shall be based on conformance with the requirements of these regulations and other applicable municipal regulations.
9.3.1.3
Director of Public Works, General Manager of Lakeland Electric, Director of Water Utilities, Director of Parks and Recreation and Other Municipal Personnel
The Director of Public Works, the General Manager of Lakeland Electric, the Director of Water Utilities and the Director of Parks and Recreation shall be responsible for assisting the Planning and Zoning Board in carrying out its responsibility for regulating the layout of new subdivisions. The directors or their designees shall exercise this responsibility by reviewing and recommending approval or disapproval of preliminary and final plats and construction plans. The city's Subdivision Review Team shall review all plats and construction plans on behalf of the directors and shall advise the directors regarding conformance thereof with the requirements of these regulations and other applicable municipal regulations. Reviews, recommendations, approvals and disapprovals shall be based on conformance with the requirements of these regulations and other applicable municipal regulations.
9.3.1.4
City Manager
The City Manager or his designee shall be responsible for recording approved final plats after making a determination that all prerequisites of these regulations have been met.
9.3.1.5
Subdivision Review Team
The Subdivision Review Team shall be responsible for technical review of subdivision plats and construction plans to assure conformance with these regulations and all other city regulations and requirements.
9.3.1.6
Capacity Review Committee
The Capacity Review Committee shall be responsible for evaluating proposed subdivisions and allocating appropriate water and wastewater capacity as part of the review process. A commitment of utility capacity to a proposed subdivision is separate and distinct from approval of a subdivision plat or construction plans for the subdivision.
9.3.1.7
City Responsible for Certain Easement and Right-of-Way Acquisition At Developer's Expense
The city may acquire easements and/or rights-of-way beyond the limits of a proposed subdivision if such acquisition is necessary for compliance with the regulations of this code and if such property is not available to the developer at a reasonable cost. A reasonable cost shall be determined based on one or more MAI (Member of Appraisal Institute) appraisals and a consideration of other pertinent factors. The developer shall provide the City Manager with documentation regarding the need for such easements or rights-of-way, their value and the circumstances preventing their acquisition. The City Manager shall weigh all factors in determining the merits of the city's involvement in the potential acquisition including, but not limited to the public benefits, the costs, and conformity with the Comprehensive Plan. In the event that the city agrees to acquire such easements or rights-of-way and the developer is the sole beneficiary of such acquisition, the developer shall reimburse the city for any and all direct and indirect costs incurred in order to make such acquisition. If the developer receives only partial benefit from the acquisition, then the developer shall reimburse a proportionate share of the direct and indirect costs incurred. No work shall commence until there is agreement as to the city's share of the costs. Reimbursement or provision for reimbursement shall be made prior to approval of the final plat by the City Manager. Easements or rights-of-way thus acquired shall be done so in the interest of the city and not of the developer.
9.3.2
ENFORCEMENT AND PENALTIES
a.
No plat of a subdivision of land located within the city limits shall be received or recorded in the records of Polk County by the Clerk of the Circuit Court of such county until said plat has been approved by the City Manager. No plat of a subdivision shall be recorded by other than the City Manager or his designee. Any person other than the City Manager or his designee who shall file for recording with the Clerk of the Circuit Court any plat of a subdivision within the city shall be deemed guilty of a violation of this code upon conviction thereof, and punished as provided by law.
b.
Any subdivision improvement, land alteration, building or other structure erected or intended to be erected in violation of these subdivision regulations shall be deemed an unlawful improvement, building or structure and the City Manager may bring action to enjoin such improvement or erection or cause it to be vacated, removed or altered.
c.
No construction of subdivision improvements shall commence prior to approval of a preliminary plat and construction plans by the Subdivision Review Team; approval of the final plat by the Planning and Zoning Board; approval by all other regulatory agencies such as SWFWMD, FDOT, FDEP and applicable federal agencies; and a Letter of Authorization having been signed by the Public Works Director. This prohibition shall not preclude the commencement of certain land alteration activities permitted through the issuance of a Site Alteration Permit in accordance with Section 6.5.
d.
In the event that the developer should fail to follow the regulations, procedures, approvals and obligations established by the city, the city shall have the right, in addition to all other legal remedies, to cease the issuance of building permits, certificates of occupancy, new utility services or other furtherance of development services to the subdivision until such time as appropriate corrective actions meeting with the City Manager's approval, have been completed by the developer.
(Ord. No. 5455, 07-21-14)
9.4.1
CONCEPT PLAN REVIEW PROCESS
9.4.1.1
Concept Review Required
Prior to submitting a preliminary plat and construction plans, the prospective applicant or agent shall first submit a concept plan for review by the Subdivision Review Team. The purpose of concept plan review is to provide the prospective applicant with information which will be helpful to prepare a preliminary plat and construction plans.
9.4.1.2
Preparation and Submission of Concept Plan
A prospective applicant or his agent shall prepare a concept plan. The concept plan shall be submitted, along with the required fees, in accordance with the most recent Subdivision Review Procedures.
9.4.1.3
Review of Concept Plan
The concept plan shall be reviewed by the Subdivision Review Team. Each department having responsibility for enforcement of these regulations shall provide comments in accordance with the department's areas of responsibility as to conformance of the concept plan with the regulations. A copy of the Subdivision Review Team comments shall be provided to the applicant to aid in the preparation of a preliminary plat and construction plans.
9.4.1.4
Subdivision Review and Platting Requirements
Any division of a lot, parcel, or tract of land that includes the construction of new roads, drainage facilities, wetland impacts or floodplain mitigation, or reconstruction of any of these facilities, shall be reviewed by the Subdivision Review Team and may require both construction plan review and plat review.
(Ord. No. 5899, § 2(Att. A), 10-18-21)
9.4.2
CONCEPT PLAN DESIGN AND DRAWING REQUIREMENTS
9.4.2.1
Size, Scale and Character of Concept Plan Drawings
Concept plans shall be drawn to any size or engineering scale which is suitable to depict all significant characteristics of the proposed subdivision. Concept plans may be drawn in sketch form.
9.4.2.2
Information Shown on Concept Plan Drawings
Concept plan drawings shall contain the following minimum information consistent with these regulations and the City of Lakeland Engineering Standards Manual:
a.
Name of the subdivision;
b.
Names of all owners of record of the subject property;
c.
Name and address of preparer;
d.
North arrow and scale;
e.
Location map;
f.
Total area of the land to be subdivided;
g.
Existing and proposed divisions of land including but not necessarily limited to lots, blocks, parcels, tracts, sites, common areas and streets;
h.
Type of proposed land uses (residential, office, commercial, industrial, etc.) and, if known, the number of total units or square feet of development;
i.
Right-of-way locations, lines and names of all existing and proposed streets, alleys or roads in, through or adjoining the subdivision;
j.
Proposed right-of-way widths and typical street sections, including location of utilities;
k.
Existing and proposed easements or other reservations or dedications of lands to the public;
l.
Wetlands and FEMA 100-year flood elevations where applicable.
m.
Anticipated water, wastewater and electric demands plus identification of any unusual service needs for which special accommodations by the city utilities may be necessary.
n.
Proposed development schedule including any phasing of the build-out if known.
9.4.3
NON-BINDING CONCURRENCY DETERMINATION REQUIREMENT
An application for concurrency determination shall be submitted to the Community Development Department with the concept plan. A nonbinding concurrency determination is required as part of the concept plan review. Upon a determination that no essential services will be degraded below the adopted level of service, as defined in the Comprehensive Plan, then the applicant may submit a preliminary plat and construction plans for review.
9.5.1
PRELIMINARY PLAT AND CONSTRUCTION PLANS REVIEW AND APPROVAL PROCESS
9.5.1.1
Preparation and Submission of Preliminary Plat and Construction Plans
A prospective applicant or his agent shall prepare a preliminary plat and construction plans in accordance with these regulations and the City of Lakeland Engineering Standards Manual and shall address comments made by the Subdivision Review Team during concept review. The preliminary plat and construction plans shall be submitted together, along with a boundary and topographic survey prepared in accordance with Chapter 472, F.S. and 5J-17, FAC and the required fees, in accordance with the most recent Subdivision Review Procedures. The boundary and topographic survey shall be prepared by a Professional Surveyor and Mapper registered by the State of Florida. Construction plans shall be prepared by a Professional Engineer licensed by the State of Florida. The Director of Community Development shall distribute copies of the preliminary plat, construction plans and survey in accordance with the most recent Subdivision Review Procedures.
9.5.1.2
Review of Preliminary Plat and Construction Plans
A preliminary plat and construction plans shall be reviewed by the city's Subdivision Review Team. Each department having responsibility for enforcement of these regulations shall provide comments in accordance with the department's areas of responsibility as to conformance of the preliminary plat and construction plans with the regulations. The General Manager of Lakeland Electric shall determine the adequacy of easements and other provisions for electricity distribution and the Director of Water Utilities shall determine the adequacy of easements and provisions for water supply and wastewater collection. Where infrastructure systems may be extended to serve future areas or can be upgraded to meet future needs, the city shall have the right to require that appropriate provisions be incorporated into the utility designs. Such provisions may include easements to allow utilities to be extended to property lines to serve abutting lands, extensions to accommodate future looping and upsizing to increase capacity. If the infrastructure systems in a development are upsized to meet needs above those of the development, the city may, by written agreement, cover the incremental cost increases to upsize said facilities. The upsizing agreement shall be approved, when applicable, prior to any start of utility construction.
9.5.1.3
Approval or Disapproval of Preliminary Plat and Construction Plans by Subdivision Review Team
The Subdivision Review Team shall approve or disapprove a preliminary plat and construction plans within thirty days of the receipt of such and a complete application for approval with all required submittals. The basis for approval shall be a finding that the preliminary plat and construction plans conform with the provisions of these regulations. The basis for disapproval shall be a finding that the preliminary plat and construction plans do not conform or that there is insufficient information to determine conformance. The Subdivision Review Team's decision shall be communicated in writing to the applicant. If the Subdivision Review Team disapproves the application, the applicant shall be informed which aspects of the design do not conform to these regulations and shall be given an opportunity to make the necessary changes.
Following written notification of approval by the Subdivision Review Team, the applicant shall submit six signed and sealed copies of the construction plans to the Community Development Department for final approval.
9.5.1.4
Appeal of Subdivision Review Team's Recommendation of Approval or Disapproval
The action of the Subdivision Review Team to recommend disapproval of a preliminary plat may be appealed to the Planning and Zoning Board. The basis of such appeal shall be that the action is based on an incorrect interpretation of the requirements of these regulations. In the event of an appeal, the Board shall take such action as it deems appropriate within the scope of these development regulations. Technical variations shall not be considered appeals.
9.5.2
EXPIRATION OF PRELIMINARY PLAT AND CONSTRUCTION PLAN APPROVAL
Approved preliminary plat and construction plans shall remain valid, provided that construction of the subdivision improvements has commenced within one year after the date of the approval and a final plat based thereon is recorded within two years after the date of approval. However, one or more extensions of not more than one year each may be granted by the Director of Community Development upon a finding that there have been no changes which make some other type of development or some other development configuration more appropriate. Changes to be considered include, but are not limited to, changes in land development regulations, changes in the existing use of land, changes in streets and roads, changes in traffic volumes and patterns and changes or contemplated changes in the Comprehensive Plan goals, objectives and policies.
9.5.3
PRELIMINARY PLAT DESIGN AND DRAWING REQUIREMENTS
9.5.3.1
General Design Standards for Preliminary Plats
Preliminary plats shall be consistent with the general design standards for layout of subdivisions set forth herein and other applicable requirements of this Code. These standards shall apply regardless of whether the roads, utilities or other infrastructure systems are to be publicly or privately operated or maintained.
9.5.3.2
Size, Scale and Character of Preliminary Plat Drawings
Preliminary plats shall be drawn on sheets that are 24 inches by 36 inches in size. They shall be drawn to an engineering scale which is suitable to depict all significant characteristics of the proposed subdivision. They may be drawn in sketch form provided that they are sufficiently specific to allow determination of compliance with all requirements of these regulations.
9.5.3.3
Information Shown on Preliminary Plat Drawings
At a minimum, preliminary plat drawings shall contain the following information:
a.
Name of the subdivision;
b.
Names of all current owners of record of the subject property;
c.
Name and address of preparer and date of preparation;
d.
North arrow and scale of all drawings;
e.
Location map;
f.
A metes and bounds legal description of the land contained within the proposed subdivision and total area of said land contained therein;
g.
Proposed divisions of land including but not necessarily limited to lots, blocks, parcels, tracts, sites, common areas and streets;
h.
Right-of-way locations, lines, and names of all proposed and existing streets, alleys or roads in, through or adjoining the subdivision; and
i.
Typical lot layout for interior and corner lots showing minimum building setbacks in accordance with the adopted zoning;
9.5.4
CONSTRUCTION PLAN DESIGN AND DRAWING REQUIREMENTS
9.5.4.1
General Design Standards for Construction Plans
Construction plans shall be consistent with the general design standards for construction of subdivision improvements set forth in Section 9.9.
9.5.4.2
Size, Scale and Character of Construction Plan Drawings
Construction plan drawings shall be drawn on sheets that are 24 inches by 36 inches in size and that have a two-inch binding margin on the left side and a one-inch margin on the other three sides, unless otherwise required by the city. They shall be drawn to an engineering scale that is suitable to depict all required information but in no instance at a scale dimension smaller than 1" = 50' horizontal for plan view, or 1" = 5' vertical for profile view.
9.5.4.3
Information Shown on Construction Plan Drawings
Construction plan drawings shall contain the following minimum information:
a.
The location of existing property lines, streets, sidewalks, buildings, water courses, wetlands, floodplains, railroads, sewers, bridges, culverts, drain pipes, water and wastewater mains and any public or private easements that are within or adjacent to the proposed subdivision.
b.
All proposed subdivision improvements, including improvements specified in or made necessary by conditions adopted as part of Planned Unit Developments or other zoning ordinances applicable to the subject property.
c.
Proposed roadway typical section, including all dimensions and structural features of the proposed section including street lighting and street trees. The proposed roadway typical shall be consistent with street types permitted in the context in accordance with Section 3.3 and with an appropriate typical section as shown in the Engineering Standards Manual or of an alternate design approved by the Director of Public Works.
d.
Alignments and dimensions of proposed streets, alleys, parks, public lands, easements and utility layouts (electrical distribution, water supply including fire hydrants, wastewater, and stormwater management), showing feasible connection to an existing or proposed system. The alignments and dimensions shall provide for the installation of underground electrical distribution and service to each lot contained within the subdivision plat.
e.
Lot lines and appropriate dimensions.
f.
Contour lines at vertical intervals of not more than one foot.
g.
Existing ground profiles and proposed grades of all streets and profiles of utilities as may be necessary to review critical areas or points of conflict. Street profiles and grades shall be at center lines of streets.
h.
Soil survey data in accordance with the Engineering Standards Manual.
i.
A Professional Engineer licensed in the State of Florida shall sign and affix his seal to each sheet of engineering plans submitted for review in accordance with Chapter 471, F.S.
j.
Detailed construction drawings for any and all external utility construction to extend adequate water and wastewater services to the development, including the size and location of interconnections. Utility design shall be supported by detailed flow, loading, hydraulic, fire flow and demand calculations demonstrating the ability of the proposed infrastructure to meet the demands within the development.
k.
Provisions, both in terms of easements, depths, sizes and stub-outs, to enable the future extension of the utilities to abutting properties for future service and/or looping as required by the city through an upsizing agreement or other written agreement entered into by the city and the developer.
l.
The location of any proposed model homes in accordance with Sub-Section 9.8.8.
m.
A street tree planting plan in accordance with the landscaping and irrigation plan requirements of Section 4.5.
9.5.5
BINDING CONCURRENCY DETERMINATION REQUIREMENT
An application for concurrency determination for transportation and schools shall be submitted to the Community Development Department along with the preliminary plat and construction plans. For all single-family and two-family subdivisions, a binding concurrency determination shall be required as part of the preliminary plat and construction plans review. If this determination indicates that any essential services will be degraded below the adopted level of service, as defined in the Lakeland Comprehensive Plan, then the preliminary plat and construction plans will not be approved. If this determination indicates that all essential services are available to support the impacts of the proposed subdivision at acceptable levels of service, then the application shall be deemed concurrent and a concurrency reservation for transportation and schools will be approved.
For all multiple-family and non-residential subdivisions, a binding concurrency determination shall be required as part of the Commercial Site Plan review process following recording of a final plat.
The approval of a Right-of-Way Subdivision plat shall not be construed as final development approval for purposes of issuance of a Certificate of Concurrency.
A binding concurrency determination shall become effective from the date of approval of the preliminary plat and construction plans by the Subdivision Review Team and shall remain in effect until the plat is recorded, or for 24 months, whichever comes first. If the final plat has not been recorded within 24 months, then the concurrency approval and reservation for transportation and schools shall expire.
9.6.1
LETTER OF AUTHORIZATION REQUIRED
Upon approval of the preliminary plat and construction plans by the Subdivision Review Team, the Community Development Department shall notify the Director of Public Works. When the Director of Public Works has verified all plans, permits and guarantees have been approved by all city departments, the Director shall issue a Letter of Authorization allowing the construction of subdivision improvements to commence. Construction of subdivision improvements shall not commence unless and until the Public Works Director has issued a Letter of Authorization.
However, certain land alteration activities may be permitted through the issuance of a Site Alteration Permit in accordance with Section 6.5.
9.6.2
INSTALLATION OF UNDERGROUND UTILITIES
Underground utilities such as electrical lines, telephone lines, cable television lines, water mains, gas mains, wastewater collection facilities, stormwater management facilities, non-potable irrigation water facilities, including conduits, sleeves and/or raceways for future underground utilities, and all service connections at property lines shall be installed prior to the installation of any stabilized subgrade, street base course, paving or curbing; provided, however, that underground utilities may be installed after installation of street base course, paving or curbing in accordance with procedures approved by the Director of Public Works.
9.6.3
SUPERVISION, INSPECTION, TESTING AND CERTIFICATION
9.6.3.1
Construction Supervision by Developer's Engineer
The developer shall be responsible for employing a Professional Engineer licensed in the State of Florida who shall inspect the construction of all subdivision improvements and certify that the subdivision improvements have been constructed in substantial accordance with the approved plans and specifications.
9.6.3.2
Construction Inspection and Testing
a.
The Director of Public Works shall be notified at least 48 hours before any construction is to start. The director shall make or cause to have made periodic inspections of the subdivision construction. Within any given geographic area, the following construction operations shall proceed in the order in which they are listed with subsequent operations being allowed to proceed only upon satisfactory completion of required inspections and tests for preceding operations:
(1)
Installation of underground utilities and stormwater systems;
(2)
Subsoil excavation, as required;
(3)
Construction of roadway subgrade and curb;
(4)
Construction of roadway base; and
(5)
Construction of roadway surface.
b.
The Director of Public Works shall order such tests to be performed on pipe and concrete work, trench backfill, subgrade construction, base construction and asphaltic concrete surface as necessary to ensure construction is in accordance with the city's specifications. All such tests shall be performed by a qualified geotechnical engineering laboratory with samples drawn from locations designated by the city's inspector. A copy of each test report shall be furnished to the city. During the course of the construction of the subdivision improvements, the city may require the following tests to be performed, the costs of which shall be borne by the developer:
(1)
AASHTO Soil Classification in public right-of-way at any location deemed appropriate by the city's engineer;
(2)
Proctor and densities on embankment construction;
(3)
Florida bearing value or limerock bearing ratios of top 12 inches of subgrade;
(4)
Proctor and densities on subgrade and base;
(5)
Concrete cylinder breaks on curb construction;
(6)
Asphalt extraction on asphaltic concrete surface course;
(7)
Thickness cores on base and pavement;
(8)
Video taping of the interior of storm sewer; or
(9)
Other tests as city deems necessary to ensure compliance with city's requirements.
All construction practices, test methods, frequencies and results must conform to requirements published in current edition of FDOT Standard Specifications for Road and Bridge Construction or adopted City of Lakeland standards.
9.6.3.3
Electrical Inspection and Testing by General Manager of Lakeland Electric
The General Manager of Lakeland Electric may inspect or cause to be inspected all electric distribution conduit system construction, installations and materials. At a minimum, inspections shall be made at the completion of underground electric service. Backfilling may be done to protect the facility; however, all fittings and joints must be left accessible for inspection. Electric Engineering Division inspectors are authorized to call any violation of specifications to the attention of the contractor and may reject materials or suspend work pending resolution of issues or conflicts by the Electric Engineering Division. The General Manager of Lakeland Electric shall be notified at least 48 hours prior to commencement of work. At any time the contractor suspends work for a period exceeding two business days, the General Manager must be notified prior to the restart of work.
9.6.3.4
Water Supply and Wastewater Collection Facilities Inspection and Testing by Director of Water Utilities
The Director of Water Utilities may inspect or cause to be inspected all water supply and wastewater collection systems construction, installations, testing, clearances and materials. Construction coordination, inspection observations, witnessing of testing and acceptance requirements will be defined by the Water Utilities Department and communicated to the developer during review, approval and pre-construction meetings. The developer shall not place any water or wastewater facilities into operation without the prior approval of the Water Utilities Department, the securing of all clearances and receipt of applicable permits.
The Director of Water Utilities shall be notified at least two business days prior to commencement of work. At any time the contractor suspends work for a period exceeding two business days, the Director of Water Utilities must be notified prior to the restart of work.
9.6.3.5
Violation Notice—Construction Not in Compliance with Approved Plans
During the construction of subdivision improvements, if such improvements are found to be defective or not in compliance with the approved plans, the Director of Public Works, may issue a written violation notice to the contractor identifying the nature of the violation and stipulating a time period in which the violation must be corrected. Failure of the contractor and/or developer to correct the violation and to comply with the violation notice may result in any of the following:
a.
The issuance of a stop work order;
b.
The violation notice being referred to the Code Enforcement Board; and/or
c.
The city initiating legal proceedings against the contractor and/or developer.
9.6.3.6
Stop-Work Orders
The Director of Public Works may order work to stop at any point if he determines that it does not conform to these regulations or other applicable municipal requirements, or that it is being performed in a dangerous or unsafe manner. Stop-work orders shall operate to halt construction until necessary corrections have been made.
9.6.3.7
Changes During Construction
Any changes that would result in significant modifications to the approved plans must first be approved in writing by the Director of Public Works, the General Manager of Lakeland Electric, the Director of Water Utilities, and the Director of Parks and Recreation or their designees, as appropriate, following review by the Subdivision Review Team. Revised plans must be signed and sealed by the engineer of record of the project or by his agent. After revised plans have been approved by the city, the developer or his agent will be authorized to issue changes to modify the approved plans. Copies of all plans and/or specifications for which changes have been issued in accordance with the most recent Subdivision Review Procedures shall be provided to the city.
9.6.3.8
Certification by Developer's Engineer
Upon completion of the subdivision improvements, the developer's supervising engineer shall certify to the Director of Public Works in writing that all improvements have been installed and completed in compliance with these and other applicable municipal regulations and shall provide the Director of Public Works, the General Manager of Lakeland Electric, the Director of Water Utilities, and the Director of Parks and Recreation or their designees with all certifications and required submittals, including "as-built" (record) drawings, in accordance with the Engineering Standards Manual.
9.6.3.9
Assurance of Completion Performance Guarantee
At their discretion, the Director of Public Works, the General Manager of Lakeland Electric, the Director of Water Utilities, or the Director of Parks and Recreation may authorize the developer to post an assurance of completion performance guarantee to cover the completion of minor work or the correction of minor deficiencies on subdivision improvements. At a minimum, such guarantee shall be in an amount equal to 125 percent of the cost of completion of the improvements in accordance with the Engineering Standards Manual. The posting of such guarantee shall not prevent the recording of the plat, however, no maintenance guarantee in accordance with Sub-Section 9.6.3.10 shall be accepted and no Certificate of Occupancy shall be issued until all work and deficiencies have been completed and the assurance of completion performance guarantee has been released.
9.6.3.10
Maintenance Guarantee
The developer shall furnish a maintenance guarantee covering all public subdivision improvements that are to be maintained by the City of Lakeland, including but not limited to, streets, drainage systems, utilities and landscaping within public rights-of-way. The guarantee shall be in the form of a bond, cash, cashier's check, or irrevocable letter of credit satisfactory to the City Attorney. At a minimum, the maintenance guarantee shall be in the amount of 15 percent of the engineer's estimate of the construction cost for the publicly-dedicated infrastructure, subject to review and approval by the Director of Public Works. The maintenance guarantee shall not be released nor shall it expire prior to the maintenance periods specified in Sub-Section 9.6.3.11 without the written consent of the Director of Public Works.
In the event of a failure or damage to any subdivision improvements resulting in a safety hazard to the public, the city, after attempting to notify the developer, may make repairs to protect the public and may bill the developer for costs incurred. In the event of an immediate threat to public safety, such attempt at notification may be by telephone. Such failure or damage to subdivision improvements may include ruptured or leaking water or sewer lines, roadway failures, erosion, or any infrastructure failures necessary for the subdivision to be functional. If the developer fails to reimburse the city for all costs associated with completing the repairs the city may use the maintenance guarantee to recover its costs.
9.6.3.11
Certification by Director of Public Works, General Manager of Lakeland Electric, Director of Water Utilities and the Director of Parks and Recreation and Acceptance of Public Subdivision Improvements
When the developer's engineer has certified the public subdivision improvements and the applicable maintenance guarantees have been provided and approved, the Director of Public Works, the General Manager of Lakeland Electric, the Director of Water Utilities, and the Director of Parks and Recreation or their designees shall make one or more inspections as deemed appropriate to determine that all public subdivision improvements have been installed and completed in compliance with the approved construction plans. If such a determination is made, they shall certify this in writing to the City Manager, the Director of Community Development and developer.
If it is determined that the public subdivision improvements have been completed and installed in compliance with the approved construction plans, the following maintenance periods shall apply prior to final acceptance of the public subdivision improvements by the city:
a.
Roadways and roadway drainage systems shall be maintained by the developer for one year, or an alternative length of time approved by the Director of Public Works.
b.
Required landscaping and street trees shall be maintained by the developer for one year, or an alternative length of time approved by the Director of Parks and Recreation.
c.
Potable water and sanitary sewer systems shall be accepted by the City of Lakeland for maintenance, subject to a maintenance guarantee period of not less than one year, or an alternative length of time approved by the Director of Water Utilities.
d.
Electric conduits and transformer pads shall be accepted by the City of Lakeland for maintenance, subject to a maintenance guarantee period of one year from the energized date.
In the event that non-standard or alternative construction methods or materials are proposed by the developer, the city may increase the amount of the maintenance guarantee or extend the maintenance period, or both, to assure that the public subdivision improvements function in accordance with city standards.
At the end of the maintenance periods specified above, the City Manager shall notify the developer in writing of his acceptance or rejection of the infrastructure for city maintenance. The City Manager may accept portions of the public subdivision improvements for city maintenance, in which case the developer shall be released from all liability for those portions that have been accepted.
9.6.4
OFF-SITE IMPROVEMENTS
a.
As a condition of construction plan approval, the city may require the developer to pay a pro-rata share of the cost of providing reasonable and necessary infrastructure improvements, including land and easements, located off-site of the proposed subdivision but required by the proposed subdivision to maintain minimum levels of service, to provide adequate system capacity, to correct potential traffic safety problems, to provide for proper vehicle and pedestrian connectivity and flow, or to mitigate other off-site impacts. Off-site improvements may include the construction of intersection improvements or signalization, widening of roads or addition of turn lanes or shoulders, construction of utilities or extension of utilities up to the limits of private property, drainage improvements, sidewalks and any other infrastructure deemed necessary by the city. In cases where off-site improvements are necessitated by the proposed subdivision, the developer may be required to provide and install such improvements, including land and easements, at his own expense. In cases where off-site improvements will also benefit other property owners, the developer may be required to pay a share of the cost of such improvements proportionate to such benefit in accordance with a development agreement or other instrument acceptable to the City Attorney setting out the method of proportionate allocation. In the event that off-site infrastructure improvements are required, they may be handled in the same manner as on-site improvements or as specified in a development agreement or other instrument.
b.
A performance guarantee shall be required when off-site improvements are to be constructed by the developer within public rights-of-way or publicly owned property. The developer shall provide the performance guarantee as defined in the Engineering Standards Manual prior to the issuance of a Letter of Authorization. Unless otherwise established by the Director of Public Works, the performance guarantee shall be for 125 percent of the engineer's certified cost estimate, as reviewed and approved by the city, for the construction of such improvements and shall be in the form of cash, cashier's check, or irrevocable letter of credit satisfactory to the City Attorney. The city may use the performance guarantee to recover the cost of correcting faulty workmanship, damage caused by on-site or off-site construction, material failures, or other outstanding construction issues.
The performance guarantee shall not be released nor shall it expire without the written consent of the Director of Public Works and shall remain in effect until a maintenance guarantee is provided and accepted by the city for all components covered under the performance guarantee. No Certificate of Occupancy shall be issued nor shall any beneficial occupancy of any buildings take place until the off-site improvements which are required by the city for the specific phase being constructed are complete and a maintenance guarantee has been accepted.
The performance guarantee shall include language giving the city the right to complete the project or to assign the project to others for disposition or completion in the event of default on the guarantee by the developer. In accepting such guarantee, the city shall not in any way be bound to complete the project.
c.
The developer shall furnish a maintenance guarantee covering all off-site improvements. The guarantee shall be in the form of cash, cashier's check, or irrevocable letter of credit satisfactory to the City Attorney. At a minimum, the maintenance guarantee shall be in the amount of 15 percent of the engineer's cost estimate, reviewed and approved by the city, for the improvements. The maintenance guarantee shall be provided prior to release of the performance guarantee. The maintenance guarantee shall not be released nor shall it expire without the written consent of the Director of Public Works.
9.7.1
FINAL PLAT REVIEW, APPROVAL AND RECORDING
9.7.1.1
Preparation and Submission of Final Plat
A final plat shall be prepared by a Professional Surveyor and Mapper licensed in the State of Florida. The final plat shall be in conformance with the approved preliminary plat, the requirements of Chapter 177, F.S., these regulations and the city's Engineering Standards Manual. The applicant shall submit to the Community Development Department six paper prints of the final plat.
9.7.1.2
Size, Scale and Character of Final Plat Drawings
Final plats shall be drawn on sheets that are 24 inches by 36 inches in size and that have a three-inch binding margin on the left side and a one-inch margin on the other three sides, unless otherwise required by Polk County, Florida. They shall be drawn to an engineering scale that is suitable to depict all significant characteristics of the plat.
9.7.1.3
Information Shown on Final Plat Drawings
Information shown on the final plat shall include the minimum information required for a preliminary plat, the requirements of Chapter 177, F.S., and the following:
a.
Location of all existing monuments in or adjoining the subdivision and description of the location of all monuments with relation to range, township and section;
b.
Block and lot numbers;
c.
All data necessary to permit the ready location on the ground of alignment, bearing and length of every boundary, street block, lot and building lines, including the radius, central angle and tangent of curved lines, chord bearing and distance;
d.
Length of all streets as measured along the centerline of road rights-of-way;
e.
All linear dimensions to the nearest one-hundredth (1/100) of a foot;
f.
Dimensions of all angles to the nearest second of arc;
g.
All reservations or dedications of lands to the public, including easements, rights-of-way and any other land dedicated to public use, including reservations or dedications specified in or made necessary by conditions adopted as part of Planned Unit Developments or other zoning ordinances applicable to the subject property;
h.
All reservations or dedications of land to individual lot owners including easements, rights-of-way and any other land dedicated to the private use of individual lot owners;
i.
Maintenance provisions for rights-of-way and common areas;
j.
FEMA 100-year flood elevations where applicable;
k.
Certification statement indicating ownership and owner's dedication of all streets, rights-of-way and any land dedicated to public use;
l.
Where the legal description of the plat, in whole or part, makes reference to, or is coincident with section and quarter section lines, the surveyor shall additionally show on the plat a legible sketch depicting all elements of such resurvey as are necessary to verify placement of said land lines and boundary lines;
m.
Certification statement indicating compliance with Florida Statutes relating to the making of maps and plats by the City Surveyor, to be worded as set forth in Sub-Section 9.7.3.1;
n.
Certification statement indicating approval by the Chairman of the Planning and Zoning Board, to be worded as set forth in Sub-Section 9.7.3.2;
o.
Certification statement indicating approval by the City Manager, to be worded as set forth in Sub-Section 9.7.3.3; and
p.
Certification statement indicating acceptance by the Clerk of the Circuit Court of Polk County, to be worded as follows:
I____________________, Clerk of the Circuit Court of Polk County, Florida, do hereby certify that this plat has been accepted for recording this ____day of _______________, ___.
9.7.1.4
Approval of Final Plat by the Director of Community Development, Director of Public Works, General Manager of Lakeland Electric, Director of Water Utilities and Director of Parks and Recreation
Once the final plat has been reviewed and approved by the Director of Community Development, Director of Public Works, General Manager of Lakeland Electric, Director of Water Utilities and Director of Parks and Recreation, each review department shall forward its recommendation for approval or disapproval to the Community Development Department. When all departments have indicated approval, the Director of Community Development shall schedule the final plat for consideration by the Planning and Zoning Board.
9.7.1.5
Approval or Disapproval of Final Plat by the Planning and Zoning Board
The Planning and Zoning Board shall approve or disapprove a final plat at the meeting at which it is presented for consideration by the Director of Community Development. Approval shall be accomplished by the affirmative vote of a majority of those present and voting. The basis for approval shall be a finding that the final plat conforms to the provisions of these regulations. The basis for disapproval shall be a finding that the final plat does not conform, or there is insufficient information to determine conformance. In arriving at a determination, the Board shall consider the recommendations of the Director of Community Development, the Director of Public Works, the General Manager of Lakeland Electric, the Director of Water Utilities, and the Director of Parks and Recreation or their designees. The Board shall also consider the opinion of the City of Lakeland Surveyor as to whether the plat complies with Florida Statutes relating to the making of maps and plats.
9.7.1.6
Variation of Subdivision Requirements by the Planning and Zoning Board
Variations of subdivision requirements may be granted by the Planning and Zoning Board for a specific plat after review and a recommendation of approval by the Subdivision Review Team. Such variations shall be listed and recorded on the final plat. Such variations shall not be considered variances under Article 12 and the two terms are not synonymous.
9.7.1.7
Communication of Planning and Zoning Board's Decision to Applicant
The Planning and Zoning Board's decision shall be communicated in writing to the applicant and other City Departments by Community Development. If the Board disapproves, the reasons for the disapproval shall be set forth in the written communication.
9.7.2
COMMON AREA MAINTENANCE PROVISIONS
9.7.2.1
Common Area Maintenance Provisions
The Planning and Zoning Board shall approve a final plat only after making a determination that there is a feasible program for the full maintenance and operation of common areas, common improvements and common facilities included in the plat. The final plat of a subdivision shall contain language designating the location of common areas, common improvements and common facilities and the specific entity responsible for the maintenance of said common areas, improvements and facilities. The final plat shall include a provision for the city to assess all private property within the subdivision for the cost of maintenance in the event that inadequate private maintenance of common areas, common improvements or common facilities results in a public nuisance. Where right-of-way and common area maintenance is noted to be a feature of the platting of the subdivision, the City Attorney shall review the language contained within the maintenance responsibility provision to ensure legal enforceability of the maintenance provision prior to the plat being presented to the Planning and Zoning Board.
9.7.3
RECORDING OF FINAL PLAT AND FINAL ACCEPTANCE OF SUBDIVISION IMPROVEMENTS
9.7.3.1
Review of Final Plat by the City Surveyor
Following certification by the Director of Public Works, General Manager of Lakeland Electric, Director of Water Utilities and the Director of Parks and Recreation that the subdivision improvements have been completed and installed in compliance with these regulations, the applicant shall submit to the Community Development Department final plat documents for the purpose of recording the plat in the Official Public Records of Polk County. Final plat documents shall consist of: 1) the original ink on Mylar drawing of the final plat or an equivalent photographic Mylar copy thereof; and 2) two reproducible Mylar copies of the original ink on Mylar drawing of the final plat.
The final plat shall be reviewed by the City of Lakeland Surveyor to determine if the plat is in compliance with Florida Statutes relating to the making of maps and plats. If he determines that the plat is in compliance, he shall document the compliance by signing and sealing an appropriate statement on the original drawing and on the reproducible Mylar copies of the plat. The statement shall be worded as follows:
STATE OF FLORIDA
COUNTY OF POLK
CITY OF LAKELAND
This plat has been reviewed and found to be substantially
in compliance with the provisions of Chapter 177, Florida
Statutes, relating to the making of maps and plats. This
____ day of ___________________, ____.
______________________________
Name
Florida Registration # ____________
City Surveyor
9.7.3.2
Signing of Approved Plat by the Chairman of Planning and Zoning Board
If the plat is approved, the Chairman of the Planning and Zoning Board shall document the approval by signing an appropriate statement on the original ink on Mylar drawing and on two reproducible Mylar copies thereof. The statement shall be worded as follows:
This plat is hereby approved by the City of Lakeland Planning and Zoning Board this
___ day of ____________, ____.
_________________________, Chairman
9.7.3.3
Approval of Plat by City Manager
After the original ink on Mylar drawing and two reproducible Mylar copies thereof have been signed by the Chairman of Planning and Zoning Board, the signed Mylars shall be transmitted to the City Manager. The City Manager shall determine whether or not all requirements of these regulations and all other relevant city requirements are met. If he determines that all requirements are not met, he shall so notify the applicant in writing with specific details. If he determines that all requirements are met, he shall document the approval of the city by signing an appropriate statement on the original ink on Mylar drawing and on the reproducible Mylar copies of the plat. The statement shall be worded as follows:
This plat is hereby approved on behalf of the Lakeland City Commission pursuant to Ordinance Number 3412 this _____day of_____________, _____. ____________________________, City Manager
Requirements of these regulations which the City Manager must determine are met before signing the final plat shall include, but not necessarily be limited to the following:
a.
Payment of all costs incurred pursuant to the acquisition of easements and rights-of-way as provided in Sub-Sections 9.3.1.7 and 9.6.4;
b.
Either construction and certification of all subdivision improvements pursuant to Sub-Section 9.6.3.11, or performance guarantees of improvements pursuant to Sub-Sections 9.6.3.9 and 9.3.1.7;
c.
Provision of maintenance guarantees for the maintenance of subdivision improvements pursuant to the performance and maintenance guarantees required in the Engineering Standards Manual; and
d.
Provision of documentation and payment of construction plan review fees, field inspection fees and recording fees as required by Sub-Section 9.7.3.4.
(Ord. No. 5455, 07-21-14)
9.7.3.4
Notification of City Manager's Signature, Required Documentation and Required Recording Fees
Prior to the recording of the plat by the City Manager or his designee, the following must be provided by the applicant: 1) documentation that no taxes are due on the property; 2) documentation of title as required by Chapter 177, F.S.; 3) payment of filing fees; 4) payment of construction plan review fees; and 5) payment of field inspection fees. Required tax and title documentation must be dated not more than 30 days prior to recording. After the City Manager has signed the final plat, the applicant shall be notified of the signing and of his documentation and payment obligations pursuant to this section.
9.7.3.5
Recording of Final Plat
The City Manager or his designee shall record the final plat after it has been signed by the City Manager, provided that no plat shall be recorded more than 30 days after the date of a title opinion acceptable to the city.
9.7.3.6
Community Development Department Repository for City's Mylar Copies of Final Plats
After a final plat has been recorded by the City Manager or his designee, one of the reproducible photographic Mylar copies shall be transmitted to the Community Development Department, which shall be responsible for preserving it and making copies as necessary.
9.7.3.7
Final Inspection of Subdivision Improvements and Release of Maintenance Guarantee
In order for the maintenance guarantee to be released, the developer shall request that the Director of Public Works conduct a final inspection. To assure that the inspection can be performed in time, the request shall be made no later than 60 days prior to the expiration of the maintenance period. Upon receipt of such request in writing, the Director of Public Works shall schedule the inspection which shall include all city departments having responsibility for maintenance of public subdivision improvements subject to the guarantee. Compliance with conditions of zoning or other special conditions that have been placed upon the development may also be verified during the final inspection. Any deficiencies shall be corrected at the developer's expense and another inspection shall be requested.
Each department having responsibility for maintenance of public subdivision improvements subject to the guarantee shall notify the Director of Public Works in writing if the improvements are acceptable for public maintenance. When all departments have indicated that the development has passed final inspection, the Director of Public Works shall return the maintenance guarantee to the developer and shall notify all city departments.
In the event the developer does not request a final inspection before the expiration of the guarantee period, the Director of Public Works may authorize an extension. If the developer does not request a final inspection within one year of the expiration of the maintenance period, including extensions, the city may utilize the funds from the guarantee to make repairs or replacements as necessary to accept the improvements for public maintenance.
The maintenance guarantee shall not be released and shall not expire without the written consent of the Director of Public Works.
9.7.3.8
Final Acceptance of Public Subdivision Improvements by the City
Acceptance by the city of rights-of-way, easements and/or other ground dedicated to the public occurs upon recording of the final plat by the City Manager or his designee. Acceptance of public improvements for maintenance occurs upon release of the maintenance guarantee by the Director of Public Works.
All subdivisions shall be designed in a manner which fully complies with the applicable provisions of this section and other sections of these regulations and with applicable sections of the following:
a.
Engineering Standards Manual;
b.
Chapter 177, F.S., or successor provisions; and
c.
Chapter 472, F.S., Chapter 5J-17, FAC, or successor provisions.
9.8.1
STREETS AND ALLEYS
9.8.1.1
Conformity to Comprehensive Plan
All streets, roadways and public rights-of-way shall be consistent with the Lakeland Comprehensive Plan.
9.8.1.2
Relation to Existing Street System
The arrangement of streets shall provide for the continuation of principal streets between adjacent properties when such continuation is necessary for convenient movement of traffic, effective fire protection, efficient provision of utilities, and where such continuation is in accordance with the city's Comprehensive Plan or with any more specific plans adopted by the city in furtherance of the Comprehensive Plan. If the adjacent property is undeveloped and the street must be a dead-end street temporarily, the right-of-way shall be extended to the property line. A temporary T- or L- shaped turnaround or cul-de-sac approved by the Director of Public Works shall be provided on all temporary dead-end streets, with the notation on the subdivision plat that land outside the normal street right-of-way shall revert to abutting property owners at such time as the street is continued. The city may limit the length of temporary dead-end streets in accordance with the design standards of these regulations.
9.8.1.3
Street Right-of-Way Widths
Street right-of-way widths shall be determined by the Director of Public Works or the state or county agency having jurisdiction. Determinations shall be based on traffic-carrying characteristics, stormwater management requirements and other pertinent considerations, provided however that no width shall be less than set forth below for urban design typical sections of streets as defined in Article 2:
a.
Arterial Streets and Highways: 120 feet
b.
Collector Streets: 80 feet
c.
Local Streets: 50 feet
d.
Alleys: 20 feet
Street rights-of-way shall be of sufficient width to accommodate all elements of the selected typical street sections. Figure 9.9-3 and Figure 9.9-4 illustrate minimum requirements of typical right-of-way sections for local and collector streets respectively. Detailed design standards for roadway, stormwater, water, wastewater and electric facilities are contained in the city's Engineering Standards Manual. The city shall require additional right-of-way width for other typical sections such as boulevard sections and rural design sections as deemed appropriate, or as needed for a specific project.
(Ord. No. 5522, 07-20-15; Ord. No. 5720, 06-18-18)
9.8.1.4
Additional Right-of-Way on Existing Streets
Subdivisions that abut or adjoin existing streets shall dedicate additional right-of-way required to meet the minimum widths set forth in Sub-Section 9.8.1.3 according to the following conditions:
a.
The entire width of the necessary additional right-of-way shall be dedicated in accordance with Sub-Section 9.8.1.3 when and where any part of the subdivision is on both sides of the existing street.
b.
The additional right-of-way required on the applicant's side shall be dedicated as specified by the Director of Public Works in accordance with Sub-Section 9.8.1.3, when and where the subdivision is located on one side of an existing street.
9.8.1.5
Restriction of Access
All vehicle access points shall be in accordance with Section 4.2 (Access Management).
(Ord. No. 5455, 07-21-14)
9.8.1.6
Grades, Alignment and Other Design Characteristics
Grades, alignment and other design characteristics shall be in accordance with the State of Florida Manual of Uniform Minimum Standards for the Design, Construction and Maintenance of Streets and Highways.
9.8.1.7
Intersections
Street intersections shall be as nearly at right angles as is practicable. Street jogs or offsets in horizontal alignment of streets across intersections shall not be made within less than 125 feet of opposing street centerlines as shown in Figure 9.9-2.
9.8.1.8
Cul-De-Sac Streets
a.
Minor streets or courts designed to have one end permanently closed shall not be more than 1,200 feet in length as measured from the center of the intersecting street to the center of the cul-de-sac. Such streets shall be provided at the closed end with a turnaround having an outside right-of-way radius of not less than 50 feet.
b.
Where it is necessary to provide for street access to adjoining property or for future extension of proposed streets, rights-of-way shall be extended by dedication to adjoining property boundaries with no reserve strips between the right-of-way and property line; and the developer shall provide a turnaround as required in Sub-Section 9.8.1.2 to exist until the street is extended.
9.8.1.9
All Lots Served by Street; Reserve Strip Restricted
Every lot shall be served by either a public or private street. There shall be no reserve strips controlling access to any streets, except where the control of such strips is definitely and permanently placed with the public under conditions approved by the Planning and Zoning Board.
9.8.1.10
Half-Street Prohibited
Half-streets are prohibited. All streets on the boundary of a subdivision shall be of full width, as set forth in Sub-Section 9.8.1.3.
9.8.2
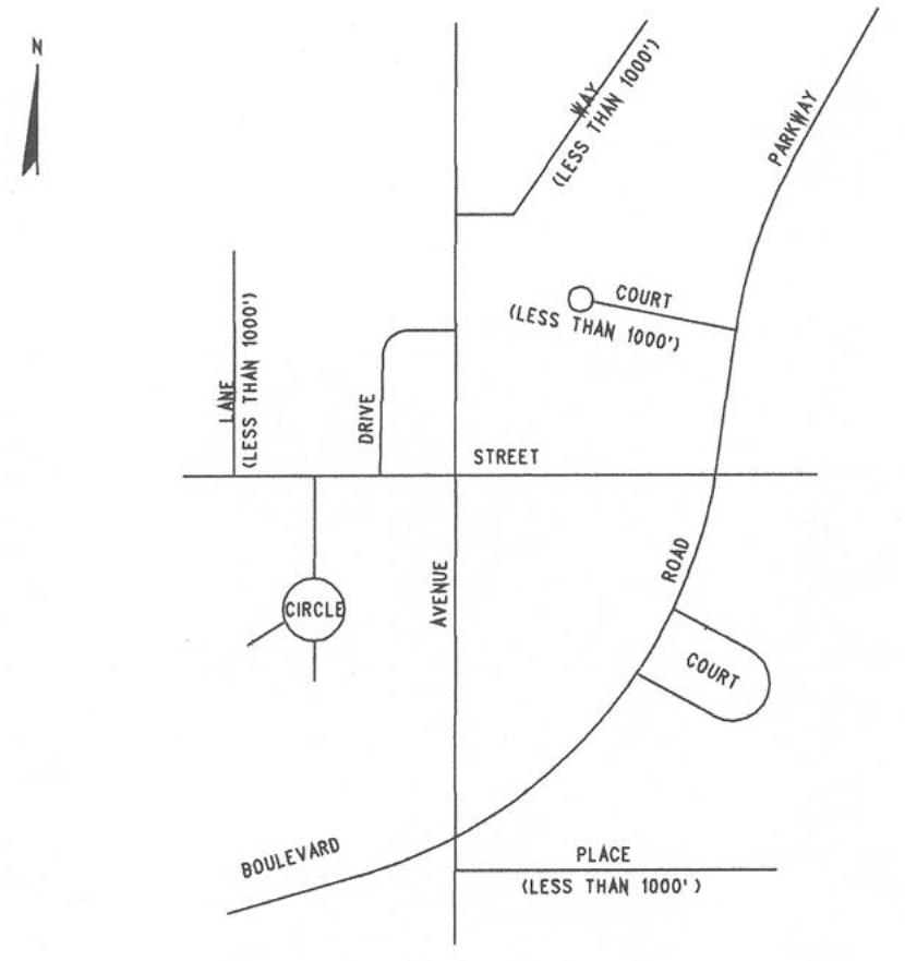
STREET NAMES
Streets that are in alignment with existing streets shall bear the name of the existing streets. Street names shall not contain directions (east, west, north, south) nor be spelled the same as, or be phonetically similar to, the names of existing streets; neither shall such words as "way," "drive," "court," etc., be used to designate different roads with the same name. However, it is not the intent of this section to prevent the use of such words as "way," "drive," "court," "circle," to designate different streets of the same name, within the boundaries of one platted subdivision. It is the intent of this section that no subdivision have streets named the same as any other subdivision's streets, or any other street or road. For the purposes of this section, the term "streets" shall include all streets and roads within and adjacent to the greater Lakeland Addressing District, not just those in the city of Lakeland. Streets shall be named in accordance with the Polk County Addressing Ordinance, and the street naming set forth in Figure 9.9-1. All street names must be approved by the city's Property Information Office.
9.8.3
BLOCKS
9.8.3.1
Length
Blocks shall be in accordance with the maximum block face and block perimeter requirements for the particular context sub-district as set forth in Tables 3.4-1 through 3.4-9, except as the city determines necessary to secure a more efficient use of land or desired features of street pattern.
9.8.3.2
Width
Blocks shall be wide enough along the shortest dimensions to permit two tiers of lots of minimum depth, except where fronting on arterial streets and the rear of lots abut the arterial street. In no other case shall conditions be approved which permit a single tier of lots to be served by two streets.
9.8.4
LOTS
9.8.4.1
Arrangement
Insofar as practical, side lot lines shall be unbroken and at right angles to straight street lines, and radial to curved street lines. The creation of new flag lots, whether through the subdivision process or as a simple parcel split, shall be prohibited. New through lots may only be created as part of the platting of a new subdivision, or as part of a replat of an existing subdivision, in which all lots within a given block are through lots with a uniform lot depth.
9.8.4.2
Minimum Size
Every lot shall abut a street for a distance not less than 40 feet unless the minimum lot width for the context sub-district is less than 40 feet, in which case the minimum street frontage shall be the minimum lot width. No building lot shall be permitted that is smaller in area than is required by these regulations for the context sub-district in which the proposed subdivision is located.
9.8.4.3
Splitting and Combining of Existing Lots and Parcels
a.
All requests for lot and parcel splits shall be processed through the Polk County Property Appraiser's Office by submitting a request to combine or split real property.
b.
For properties that are currently improved, the owner of the property will be required to submit a survey which shows the setbacks and location of all improvements on the property.
c.
Lot and parcel splits which result in the creation of nonconformities with respect to the setbacks for principal and accessory structures, orientation of the required front and rear yards, and the location of required off-street parking shall be prohibited.
d.
Lot and parcel splits which would result in the separation of any required off-street parking, driveway aprons or other facilities serving a principal structure on the property shall not be processed until such facilities have been reconstructed in accordance with the current Land Development Code standards.
e.
Any encroaching structures on the newly created lot or parcel shall be removed or relocated unless there is an approved permit for the construction of a new principal structure. For the purposes of this section, encroachments shall be defined as any sidewalks, driveways, aprons, patios and other impervious surfaces, and any sheds, detached garages, accessory dwellings, swimming pools, pool pumps, generators, and other accessory structures and equipment which were accessory to the principal structure on the parent parcel.
f.
It shall be the responsibility of the property owner to ensure that any above-ground or below-ground utility feeds which may encroach on a newly-created vacant lot or parcel are relocated prior to the sale or conveyance of the property.
9.8.4.4
Additional Requirements for Splitting and Combining Lots and Parcels in Existing Subdivisions
a.
The splitting and combining of lots and parcels in existing subdivisions shall maintain the lot orientation and block pattern as shown on the recorded subdivision plat. The creation of any new lots or parcels which are oriented contrary to the orientation of lots shown on the recorded plat shall be prohibited.
b.
Any new lots or parcels created shall not restrict access to any existing above-ground or below-ground utilities, alleys, easements, pedestrian facilities or solid waste collection areas.
(Ord. No. 5801, § 1.1(Att. A), 11-18-19; Ord. No. 5899, § 2(Att. A), 10-18-21)
9.8.5
UTILITY EASEMENTS
Except where alleys are provided for the purpose of placing utilities, the city shall require easements of appropriate width, as determined by the city, for the placement and installation of underground electric facilities, wires, pipes, conduits, stormwater management, wastewater facilities, gas, potable water, water reuse, or other utility lines at locations where deemed necessary by the affected utility or department of the city. Figure 9.9-3 and Figure 9.9-4 illustrate typical utility easement width and placement in the context of typical local and collector street sections respectively. Detailed design standards for roadway, stormwater, water, wastewater and electric facilities are contained in the city's Engineering Standards Manual.
The city shall require the dedication of interior utility easements for water, wastewater and electric service including perimeter easements where appropriate. All such easements shall be dedicated by the developer at no cost to the city by plat or separate instrument. Such utility easements shall be in addition to the required dedications for public roads and drainage facilities; however, when conditions warrant general easements may be considered by the city.
(Ord. No. 5522, 07-20-15)
9.8.6
PUBLIC LAND AND SERVICE AREAS
Subdivisions shall provide land areas that are suitably located and of adequate size for playgrounds, parks and other public uses. Where a park site, recreational site, public access to water frontage, or any other public facility shown in the Comprehensive Plan or any other land use plan pursuant to the Comprehensive Plan that has been officially adopted by the City Commission, is located in whole or in part in the applicant's subdivision, the city may require the dedication of such land as lies within the subdivision. Such dedication may be eligible for impact fee credits in accordance with the City of Lakeland Impact Fee Ordinance for Parks and Recreation Facilities.
9.8.7
CHARACTER OF THE LAND
Land which the city finds to be unsuitable for subdividing or development due to flooding, improper drainage, steep slopes, unstable soil, wetlands, adverse earth formations or topography, utility easements, or other features which will reasonably be harmful to the safety, health, and general welfare of the present or future inhabitants of the subdivision and/or its surrounding areas, shall not be platted or developed unless adequate methods are formulated by the developer and approved by the city upon a recommendation of the Director of Public Works, to solve the problems created by the unsuitable land conditions. Such land shall be set aside for uses that shall not present a danger.
9.8.8
MODEL HOMES
Subject to the approval of the Director of Community Development, model homes in residential subdivisions may be constructed prior to the completion of infrastructure improvements and recording of the final plat in accordance with the following:
a.
The number of model homes shall not exceed the greater of five units or 10 percent of the total building lots within any single platted phase, not to exceed 30 total units. Fractions shall be rounded to the nearest whole number.
b.
Certificates of Occupancy for model homes shall not be issued until the plat is recorded.
c.
The phase or site where model homes are to be built shall have an approved set of final construction plans including a preliminary plat approved by the Subdivision Review Team.
d.
Each model home shall be accessible by a stabilized road base meeting the minimum requirements of the latest edition of the NFPA 1 Fire Code.
e.
There shall be no water, electric or sanitary sewer service to individual model homes until the plat is recorded.
f.
Temporary metered water service may be provided to the parent tract in accordance with Water Utilities Department procedures and fees. If the developer extends temporary water service to any individual model home, a properly permitted wastewater collection/treatment system such as a temporary septic system or pump out tank shall be provided.
g.
Prior to the placement of combustible materials on any model home construction site, fire suppression water shall be available from a fully functioning hydrant within 1,000 feet of the site measured by the route of vehicle travel along approved roadways and/or stabilized road base.
h.
Temporary electric service may be provided to the parent tract in accordance with Lakeland Electric procedures and fees.
Subdivision improvements shall be constructed in a manner which fully comply with the applicable provisions of this section and other sections of this code and with applicable sections of the following:
a.
Engineering Standards Manual and other references contained therein;
b.
Manual of Uniform Standards for Design, Construction and Maintenance of Streets and Highway, Florida Department of Transportation, latest edition;
c.
"Standard Specification for Road and Bridge Construction," Florida Department of Transportation, latest edition;
d.
"Roadway Design Standard Detail Indexes," Florida Department of Transportation, latest edition;
e.
Manual of Uniform Traffic Control Devices, latest edition;
f.
Drainage Manual, Florida Department of Transportation, latest edition;
g.
Chapter 5J, FAC, Chapter 471, F.S. and Chapter 472, F.S., or successor provisions;
h.
Chapter 177, F.S., or successor provisions; and
i.
City of Lakeland Fire Code.
9.9.1
UTILITIES
9.9.1.1
Water Supply
Water mains properly connected with the public water supply system or other approved system shall be installed in such a manner as to adequately serve all lots shown on the subdivision plat for both domestic use and fire protection.
The location, size and types of water mains, valves and fire hydrants; the amount of soil cover over the pipes; and other features of the installation shall be as required by the city. The water distribution system shall be installed by the developer at his expense, except for specifically designated oversizing required by the city. The design and the construction of the system must be approved by the city and the necessary permits for system construction must be obtained from the Florida Department of Environmental Protection prior to the start of system installation.
Cross-Connection Control
All new connections to the public water supply system shall have an appropriate cross-connection control device meeting city standards and conforming to the current rules and regulations of the Florida Department of Environmental Protection. Such devices shall prevent the backflow of contaminated water into the potable water distribution network.
Water Conservation Requirements
All new residential, commercial and industrial connections will be required to utilize water-conserving fixtures in accordance with Florida Plumbing Code. In addition, all subdivisions will be required to recommend the use of Florida-Friendly landscaping plants and grasses to minimize supplemental water use. All lawn irrigation systems shall be designed for efficient water use.
9.9.1.2
Wastewater Collection
When any part of a proposed subdivision is within 1,250 feet of a usable public wastewater collection system, all lots in the subdivision shall be connected therewith unless otherwise determined by the Director of Water Utilities based on considerations of the cost effectiveness or availability of capacity. The cost of providing the wastewater collection facilities shall be paid by the developer, except as provided by Sub-Section 9.6.4. The design and the construction of the system shall be approved by the Director of Water Utilities in accordance with the Engineering Standards Manual and the necessary permits for system construction shall be obtained from the Florida Department of Environmental Protection prior to the start of system installation.
9.9.1.3
Irrigation Water Supply
Non-potable water sources, such as shallow groundwater wells or stormwater retention ponds, shall be used for the irrigation of common landscaped areas in new residential subdivisions and new non-residential subdivisions unless the Director of Water Utilities determines that a non-potable source is infeasible. The use of potable water for irrigation of such areas shall be subject to the approval of the Capacity Review Committee. Non-potable irrigation systems shall be considered privately owned and operated systems even when such systems are under the control of a homeowners or property owners association. Accordingly, all parts of such non-potable irrigation systems shall be located outside of public rights-of-way and public easements. All non-potable irrigation systems shall comply with applicable city standards and state regulations (i.e.; pipe colors, minimum separations). Subdivisions having non-potable irrigation systems shall be required to install an approved cross-connection control device (backflow preventer) on all potable water services. Private irrigation systems shall not be installed within city rights-of-way unless the city enters into a written agreement with the entity responsible for the irrigation system for maintenance of the system and for repair of any damage to public facilities resulting from failure of the irrigation system. All irrigation systems, including non-potable systems, are subject to City of Lakeland watering restrictions and Water Management District declarations.
9.9.1.4
Stormwater Management
The developer shall install storm drain pipes, catch basins, and all other such facilities of sizes and alignments to provide suitable management of stormwater runoff in conformity with good standards of practice for municipal stormwater management systems, as approved by the Director of Public Works in accordance with the city's Engineering Standards Manual.
Stormwater management facilities shall be landscaped in accordance with Sub-Section 4.5.8.3.
9.9.1.5
Underground Electric Distribution Facilities and Services
The design of underground electric distribution facilities and service shall be approved by the General Manager of Lakeland Electric. The cost of such underground electrical distribution and service facilities shall be established in accordance with the policies, rules and regulations, adopted by the City Commission and the General Manager of Lakeland Electric, then in effect.
9.9.1.6
Street Lighting Systems
Street lighting systems shall be designed by the General Manager of Lakeland Electric.
9.9.1.7
Street Trees
Street trees shall be provided within rights-of-way along both sides of streets or roads of all subdivisions. For purposes of this section, street trees shall be those species identified as street trees in Table 4.5-6 (Landscaping and Tree Regulations) and having a minimum height of eight feet and a one-inch diameter trunk at breast height (DBH) or a one and one-half inch diameter trunk at six inches above grade at time of planting. Street trees shall be planted at a ratio of one tree per 50 linear feet of roadway and in accordance with the typical street sections in Figures 9.9-3 and 9.9-4. The required street trees shall be in addition to trees required by Sub-Section 4.5.4. Planting and irrigation plans shall be approved by the Director of Parks and Recreation who shall also have the authority to modify these requirements, including but not limited to situations in which compliance cannot be met due to conflicts with utilities, lighting, driveway connections or other physical site constraints. Street trees shall be planted prior to final acceptance of public subdivision improvements except that street trees adjacent to residential lots shall be planted prior to issuance of a Certificate of Occupancy for each residential unit.
9.9.2
TRAFFIC CONTROL DEVICES
9.9.2.1
Street Name Signs
No less than one street name sign per intersection shall be installed by the developer. The street name sign, post and mounting shall meet the current standards established by the city.
9.9.2.2
Traffic Control Signs
Regulatory and warning signs shall be installed by the developer. The sign locations and types shall be in accordance with recommendations set forth in the Manual of Uniform Traffic Control Devices.
9.9.2.3
Pavement Marking
All pavement marking shall be thermoplastic. All arterial and collector streets shall be striped with centerline and other markings as recommended in the Manual of Uniform Traffic Control Devices.
9.9.2.4
Traffic Signals
In certain instances where it has been determined by the city that the development of a subdivision will require traffic signals, the developer will install, or cause to have installed, properly designed and engineered traffic signal systems approved by the city. If more than one subdivision, or if a subdivision and one or more other developments together, necessitate installation of traffic signals, then the city may require each subdivision and/or other development to pay a proportional share of the cost of necessary traffic signals. Proportional shares shall be determined based on the relative amount of traffic each subdivision and/or other development contributes to the need for signals as determined by the city.
9.9.2.5
Method of Installation or Payment
If it is mutually agreeable, the city will fabricate and install traffic signs, pavement markings and traffic signals upon receipt of payment from the developer for the installations.
9.9.3
MONUMENTS
Plat monuments shall conform to the requirements of Chapter 177 F.S.
9.9.4
PERMITS REQUIRED BY GOVERNMENTAL AGENCIES
The developer shall be responsible for obtaining all required environmental, water management and construction permits from governmental regulatory agencies who exercise jurisdiction over activity requiring such a permit. Construction shall not begin prior to the receipt of such permits. Governmental regulatory agencies that may be involved in the issuance of various required permits include but are not necessarily limited to:
Southwest Florida Water Management District (SWFWMD)
Florida Department of Environmental Protection (FDEP)
Florida Department of Transportation (FDOT)
Polk County Health Department (PCHD)
Polk County Engineering Department (PCED)
US Army Corps of Engineers (ACOE)
Figure 9.9-1 Street Naming System
NOTE: Road names which are in alignment with existing roads shall bear the name of existing road. Road names shall not be spelled the same as, nor be phonetically similar to the names of existing roads; neither shall such words as "Way", "Drive", "Court", etc. be used to designate different roads with the provisions of this Sub-Section to prevent the use of such words as "Way, "Drive", "Court", "Circle", etc., to be used to designate different streets of the same name, within the boundaries of the platted subdivision. However, it is the intent that no subdivision have streets named the same as any other subdivision's streets, or any other road or street.
Figure 9.9-2 Street Intersection Location Standards
Figure 9.9-3 Typical 50' Minimum Right-of-Way Section
Figure 9.9-4 Typical 60' Minimum Right-of-Way Section
- SUBDIVISION STANDARDS
9.1.1
INTENT
It is the intent of this article to provide minimum standards for the conversion of unplatted lands to subdivisions and for the resubdivision of parcels to protect the public health, safety and general welfare, promote the orderly layout of development sites and streets, provide for proper light and air, and provide for transportation, potable water, wastewater collection, flood prevention, drainage, recreation and other services.
9.1.2
APPLICABILITY
These regulations shall govern subdivisions and resubdivisions of land within the corporate limits of the City of Lakeland. Standards set forth herein for the platting of subdivisions and the construction of streets and other facilities for subdivisions shall apply to both publicly dedicated and private streets and other facilities.
9.1.3
AUTHORITY
The authority for enforcement of these regulations is provided in the Charter, City of Lakeland and Florida Statutes, Chapters 163, 166 and 177.
Subdivision Improvement: Any roadway facility, water distribution facility, wastewater collection facility, stormwater drainage facility, electric distribution facility, pedestrian and bicycle facility, transit facility, street trees, landscaping or other improvements which are required to be constructed or installed to serve a subdivision in accordance with these regulations and the Engineering Standards Manual.
Subdivision Improvement—Private: Any subdivision improvement which will be owned and maintained by a non-governmental entity such as a property owners or homeowners association.
Subdivision Improvement—Public: Any subdivision improvement which will be conveyed to the City of Lakeland or which the city is responsible for assuring compliance with the regulations of other governmental entities.
Subdivision Plat—Final: A map or drawing depicting the exact division of land into lots, blocks, parcels, tracts, sites or other divisions, as set forth in Chapter 177, Florida Statutes, which has been prepared in the stipulated format for the purpose of recording with the Polk County Clerk of the Circuit Court.
Subdivision Plat—Preliminary: A detailed map or drawing depicting the proposed division of land into lots, blocks, parcels, tracts, sites, or other divisions for the purpose of technical review prior to the submission of a Final Subdivision Plat.
Subdivision Review Procedures: Written administrative procedures specifying detailed requirements and procedures for the submittal and review of subdivision plats and construction plans. Such procedures, including a schedule of required fees, are subject to amendment from time to time.
Subdivision Review Team: An internal review team composed of the directors of each city department having responsibility for enforcement of the subdivision regulations, or their designees.
9.3.1
ADMINISTRATION
9.3.1.1
City of Lakeland Planning and Zoning Board
The Planning and Zoning Board shall be responsible for regulating the layout of new subdivisions. The Planning and Zoning Board shall exercise this responsibility by reviewing applications for final plat approval and approving or disapproving based on conformance with the requirements of these regulations and other applicable municipal regulations.
9.3.1.2
Director of Community Development
The Director of Community Development shall be responsible for assisting the Planning and Zoning Board in carrying out its responsibility for regulating the layout of new subdivisions and resubdivisions. The director or his designee shall exercise this responsibility by reviewing and approving preliminary plats and by reviewing and recommending approval or disapproval of final plats. Reviews, approvals, disapprovals and recommendations shall be based on conformance with the requirements of these regulations and other applicable municipal regulations.
9.3.1.3
Director of Public Works, General Manager of Lakeland Electric, Director of Water Utilities, Director of Parks and Recreation and Other Municipal Personnel
The Director of Public Works, the General Manager of Lakeland Electric, the Director of Water Utilities and the Director of Parks and Recreation shall be responsible for assisting the Planning and Zoning Board in carrying out its responsibility for regulating the layout of new subdivisions. The directors or their designees shall exercise this responsibility by reviewing and recommending approval or disapproval of preliminary and final plats and construction plans. The city's Subdivision Review Team shall review all plats and construction plans on behalf of the directors and shall advise the directors regarding conformance thereof with the requirements of these regulations and other applicable municipal regulations. Reviews, recommendations, approvals and disapprovals shall be based on conformance with the requirements of these regulations and other applicable municipal regulations.
9.3.1.4
City Manager
The City Manager or his designee shall be responsible for recording approved final plats after making a determination that all prerequisites of these regulations have been met.
9.3.1.5
Subdivision Review Team
The Subdivision Review Team shall be responsible for technical review of subdivision plats and construction plans to assure conformance with these regulations and all other city regulations and requirements.
9.3.1.6
Capacity Review Committee
The Capacity Review Committee shall be responsible for evaluating proposed subdivisions and allocating appropriate water and wastewater capacity as part of the review process. A commitment of utility capacity to a proposed subdivision is separate and distinct from approval of a subdivision plat or construction plans for the subdivision.
9.3.1.7
City Responsible for Certain Easement and Right-of-Way Acquisition At Developer's Expense
The city may acquire easements and/or rights-of-way beyond the limits of a proposed subdivision if such acquisition is necessary for compliance with the regulations of this code and if such property is not available to the developer at a reasonable cost. A reasonable cost shall be determined based on one or more MAI (Member of Appraisal Institute) appraisals and a consideration of other pertinent factors. The developer shall provide the City Manager with documentation regarding the need for such easements or rights-of-way, their value and the circumstances preventing their acquisition. The City Manager shall weigh all factors in determining the merits of the city's involvement in the potential acquisition including, but not limited to the public benefits, the costs, and conformity with the Comprehensive Plan. In the event that the city agrees to acquire such easements or rights-of-way and the developer is the sole beneficiary of such acquisition, the developer shall reimburse the city for any and all direct and indirect costs incurred in order to make such acquisition. If the developer receives only partial benefit from the acquisition, then the developer shall reimburse a proportionate share of the direct and indirect costs incurred. No work shall commence until there is agreement as to the city's share of the costs. Reimbursement or provision for reimbursement shall be made prior to approval of the final plat by the City Manager. Easements or rights-of-way thus acquired shall be done so in the interest of the city and not of the developer.
9.3.2
ENFORCEMENT AND PENALTIES
a.
No plat of a subdivision of land located within the city limits shall be received or recorded in the records of Polk County by the Clerk of the Circuit Court of such county until said plat has been approved by the City Manager. No plat of a subdivision shall be recorded by other than the City Manager or his designee. Any person other than the City Manager or his designee who shall file for recording with the Clerk of the Circuit Court any plat of a subdivision within the city shall be deemed guilty of a violation of this code upon conviction thereof, and punished as provided by law.
b.
Any subdivision improvement, land alteration, building or other structure erected or intended to be erected in violation of these subdivision regulations shall be deemed an unlawful improvement, building or structure and the City Manager may bring action to enjoin such improvement or erection or cause it to be vacated, removed or altered.
c.
No construction of subdivision improvements shall commence prior to approval of a preliminary plat and construction plans by the Subdivision Review Team; approval of the final plat by the Planning and Zoning Board; approval by all other regulatory agencies such as SWFWMD, FDOT, FDEP and applicable federal agencies; and a Letter of Authorization having been signed by the Public Works Director. This prohibition shall not preclude the commencement of certain land alteration activities permitted through the issuance of a Site Alteration Permit in accordance with Section 6.5.
d.
In the event that the developer should fail to follow the regulations, procedures, approvals and obligations established by the city, the city shall have the right, in addition to all other legal remedies, to cease the issuance of building permits, certificates of occupancy, new utility services or other furtherance of development services to the subdivision until such time as appropriate corrective actions meeting with the City Manager's approval, have been completed by the developer.
(Ord. No. 5455, 07-21-14)
9.4.1
CONCEPT PLAN REVIEW PROCESS
9.4.1.1
Concept Review Required
Prior to submitting a preliminary plat and construction plans, the prospective applicant or agent shall first submit a concept plan for review by the Subdivision Review Team. The purpose of concept plan review is to provide the prospective applicant with information which will be helpful to prepare a preliminary plat and construction plans.
9.4.1.2
Preparation and Submission of Concept Plan
A prospective applicant or his agent shall prepare a concept plan. The concept plan shall be submitted, along with the required fees, in accordance with the most recent Subdivision Review Procedures.
9.4.1.3
Review of Concept Plan
The concept plan shall be reviewed by the Subdivision Review Team. Each department having responsibility for enforcement of these regulations shall provide comments in accordance with the department's areas of responsibility as to conformance of the concept plan with the regulations. A copy of the Subdivision Review Team comments shall be provided to the applicant to aid in the preparation of a preliminary plat and construction plans.
9.4.1.4
Subdivision Review and Platting Requirements
Any division of a lot, parcel, or tract of land that includes the construction of new roads, drainage facilities, wetland impacts or floodplain mitigation, or reconstruction of any of these facilities, shall be reviewed by the Subdivision Review Team and may require both construction plan review and plat review.
(Ord. No. 5899, § 2(Att. A), 10-18-21)
9.4.2
CONCEPT PLAN DESIGN AND DRAWING REQUIREMENTS
9.4.2.1
Size, Scale and Character of Concept Plan Drawings
Concept plans shall be drawn to any size or engineering scale which is suitable to depict all significant characteristics of the proposed subdivision. Concept plans may be drawn in sketch form.
9.4.2.2
Information Shown on Concept Plan Drawings
Concept plan drawings shall contain the following minimum information consistent with these regulations and the City of Lakeland Engineering Standards Manual:
a.
Name of the subdivision;
b.
Names of all owners of record of the subject property;
c.
Name and address of preparer;
d.
North arrow and scale;
e.
Location map;
f.
Total area of the land to be subdivided;
g.
Existing and proposed divisions of land including but not necessarily limited to lots, blocks, parcels, tracts, sites, common areas and streets;
h.
Type of proposed land uses (residential, office, commercial, industrial, etc.) and, if known, the number of total units or square feet of development;
i.
Right-of-way locations, lines and names of all existing and proposed streets, alleys or roads in, through or adjoining the subdivision;
j.
Proposed right-of-way widths and typical street sections, including location of utilities;
k.
Existing and proposed easements or other reservations or dedications of lands to the public;
l.
Wetlands and FEMA 100-year flood elevations where applicable.
m.
Anticipated water, wastewater and electric demands plus identification of any unusual service needs for which special accommodations by the city utilities may be necessary.
n.
Proposed development schedule including any phasing of the build-out if known.
9.4.3
NON-BINDING CONCURRENCY DETERMINATION REQUIREMENT
An application for concurrency determination shall be submitted to the Community Development Department with the concept plan. A nonbinding concurrency determination is required as part of the concept plan review. Upon a determination that no essential services will be degraded below the adopted level of service, as defined in the Comprehensive Plan, then the applicant may submit a preliminary plat and construction plans for review.
9.5.1
PRELIMINARY PLAT AND CONSTRUCTION PLANS REVIEW AND APPROVAL PROCESS
9.5.1.1
Preparation and Submission of Preliminary Plat and Construction Plans
A prospective applicant or his agent shall prepare a preliminary plat and construction plans in accordance with these regulations and the City of Lakeland Engineering Standards Manual and shall address comments made by the Subdivision Review Team during concept review. The preliminary plat and construction plans shall be submitted together, along with a boundary and topographic survey prepared in accordance with Chapter 472, F.S. and 5J-17, FAC and the required fees, in accordance with the most recent Subdivision Review Procedures. The boundary and topographic survey shall be prepared by a Professional Surveyor and Mapper registered by the State of Florida. Construction plans shall be prepared by a Professional Engineer licensed by the State of Florida. The Director of Community Development shall distribute copies of the preliminary plat, construction plans and survey in accordance with the most recent Subdivision Review Procedures.
9.5.1.2
Review of Preliminary Plat and Construction Plans
A preliminary plat and construction plans shall be reviewed by the city's Subdivision Review Team. Each department having responsibility for enforcement of these regulations shall provide comments in accordance with the department's areas of responsibility as to conformance of the preliminary plat and construction plans with the regulations. The General Manager of Lakeland Electric shall determine the adequacy of easements and other provisions for electricity distribution and the Director of Water Utilities shall determine the adequacy of easements and provisions for water supply and wastewater collection. Where infrastructure systems may be extended to serve future areas or can be upgraded to meet future needs, the city shall have the right to require that appropriate provisions be incorporated into the utility designs. Such provisions may include easements to allow utilities to be extended to property lines to serve abutting lands, extensions to accommodate future looping and upsizing to increase capacity. If the infrastructure systems in a development are upsized to meet needs above those of the development, the city may, by written agreement, cover the incremental cost increases to upsize said facilities. The upsizing agreement shall be approved, when applicable, prior to any start of utility construction.
9.5.1.3
Approval or Disapproval of Preliminary Plat and Construction Plans by Subdivision Review Team
The Subdivision Review Team shall approve or disapprove a preliminary plat and construction plans within thirty days of the receipt of such and a complete application for approval with all required submittals. The basis for approval shall be a finding that the preliminary plat and construction plans conform with the provisions of these regulations. The basis for disapproval shall be a finding that the preliminary plat and construction plans do not conform or that there is insufficient information to determine conformance. The Subdivision Review Team's decision shall be communicated in writing to the applicant. If the Subdivision Review Team disapproves the application, the applicant shall be informed which aspects of the design do not conform to these regulations and shall be given an opportunity to make the necessary changes.
Following written notification of approval by the Subdivision Review Team, the applicant shall submit six signed and sealed copies of the construction plans to the Community Development Department for final approval.
9.5.1.4
Appeal of Subdivision Review Team's Recommendation of Approval or Disapproval
The action of the Subdivision Review Team to recommend disapproval of a preliminary plat may be appealed to the Planning and Zoning Board. The basis of such appeal shall be that the action is based on an incorrect interpretation of the requirements of these regulations. In the event of an appeal, the Board shall take such action as it deems appropriate within the scope of these development regulations. Technical variations shall not be considered appeals.
9.5.2
EXPIRATION OF PRELIMINARY PLAT AND CONSTRUCTION PLAN APPROVAL
Approved preliminary plat and construction plans shall remain valid, provided that construction of the subdivision improvements has commenced within one year after the date of the approval and a final plat based thereon is recorded within two years after the date of approval. However, one or more extensions of not more than one year each may be granted by the Director of Community Development upon a finding that there have been no changes which make some other type of development or some other development configuration more appropriate. Changes to be considered include, but are not limited to, changes in land development regulations, changes in the existing use of land, changes in streets and roads, changes in traffic volumes and patterns and changes or contemplated changes in the Comprehensive Plan goals, objectives and policies.
9.5.3
PRELIMINARY PLAT DESIGN AND DRAWING REQUIREMENTS
9.5.3.1
General Design Standards for Preliminary Plats
Preliminary plats shall be consistent with the general design standards for layout of subdivisions set forth herein and other applicable requirements of this Code. These standards shall apply regardless of whether the roads, utilities or other infrastructure systems are to be publicly or privately operated or maintained.
9.5.3.2
Size, Scale and Character of Preliminary Plat Drawings
Preliminary plats shall be drawn on sheets that are 24 inches by 36 inches in size. They shall be drawn to an engineering scale which is suitable to depict all significant characteristics of the proposed subdivision. They may be drawn in sketch form provided that they are sufficiently specific to allow determination of compliance with all requirements of these regulations.
9.5.3.3
Information Shown on Preliminary Plat Drawings
At a minimum, preliminary plat drawings shall contain the following information:
a.
Name of the subdivision;
b.
Names of all current owners of record of the subject property;
c.
Name and address of preparer and date of preparation;
d.
North arrow and scale of all drawings;
e.
Location map;
f.
A metes and bounds legal description of the land contained within the proposed subdivision and total area of said land contained therein;
g.
Proposed divisions of land including but not necessarily limited to lots, blocks, parcels, tracts, sites, common areas and streets;
h.
Right-of-way locations, lines, and names of all proposed and existing streets, alleys or roads in, through or adjoining the subdivision; and
i.
Typical lot layout for interior and corner lots showing minimum building setbacks in accordance with the adopted zoning;
9.5.4
CONSTRUCTION PLAN DESIGN AND DRAWING REQUIREMENTS
9.5.4.1
General Design Standards for Construction Plans
Construction plans shall be consistent with the general design standards for construction of subdivision improvements set forth in Section 9.9.
9.5.4.2
Size, Scale and Character of Construction Plan Drawings
Construction plan drawings shall be drawn on sheets that are 24 inches by 36 inches in size and that have a two-inch binding margin on the left side and a one-inch margin on the other three sides, unless otherwise required by the city. They shall be drawn to an engineering scale that is suitable to depict all required information but in no instance at a scale dimension smaller than 1" = 50' horizontal for plan view, or 1" = 5' vertical for profile view.
9.5.4.3
Information Shown on Construction Plan Drawings
Construction plan drawings shall contain the following minimum information:
a.
The location of existing property lines, streets, sidewalks, buildings, water courses, wetlands, floodplains, railroads, sewers, bridges, culverts, drain pipes, water and wastewater mains and any public or private easements that are within or adjacent to the proposed subdivision.
b.
All proposed subdivision improvements, including improvements specified in or made necessary by conditions adopted as part of Planned Unit Developments or other zoning ordinances applicable to the subject property.
c.
Proposed roadway typical section, including all dimensions and structural features of the proposed section including street lighting and street trees. The proposed roadway typical shall be consistent with street types permitted in the context in accordance with Section 3.3 and with an appropriate typical section as shown in the Engineering Standards Manual or of an alternate design approved by the Director of Public Works.
d.
Alignments and dimensions of proposed streets, alleys, parks, public lands, easements and utility layouts (electrical distribution, water supply including fire hydrants, wastewater, and stormwater management), showing feasible connection to an existing or proposed system. The alignments and dimensions shall provide for the installation of underground electrical distribution and service to each lot contained within the subdivision plat.
e.
Lot lines and appropriate dimensions.
f.
Contour lines at vertical intervals of not more than one foot.
g.
Existing ground profiles and proposed grades of all streets and profiles of utilities as may be necessary to review critical areas or points of conflict. Street profiles and grades shall be at center lines of streets.
h.
Soil survey data in accordance with the Engineering Standards Manual.
i.
A Professional Engineer licensed in the State of Florida shall sign and affix his seal to each sheet of engineering plans submitted for review in accordance with Chapter 471, F.S.
j.
Detailed construction drawings for any and all external utility construction to extend adequate water and wastewater services to the development, including the size and location of interconnections. Utility design shall be supported by detailed flow, loading, hydraulic, fire flow and demand calculations demonstrating the ability of the proposed infrastructure to meet the demands within the development.
k.
Provisions, both in terms of easements, depths, sizes and stub-outs, to enable the future extension of the utilities to abutting properties for future service and/or looping as required by the city through an upsizing agreement or other written agreement entered into by the city and the developer.
l.
The location of any proposed model homes in accordance with Sub-Section 9.8.8.
m.
A street tree planting plan in accordance with the landscaping and irrigation plan requirements of Section 4.5.
9.5.5
BINDING CONCURRENCY DETERMINATION REQUIREMENT
An application for concurrency determination for transportation and schools shall be submitted to the Community Development Department along with the preliminary plat and construction plans. For all single-family and two-family subdivisions, a binding concurrency determination shall be required as part of the preliminary plat and construction plans review. If this determination indicates that any essential services will be degraded below the adopted level of service, as defined in the Lakeland Comprehensive Plan, then the preliminary plat and construction plans will not be approved. If this determination indicates that all essential services are available to support the impacts of the proposed subdivision at acceptable levels of service, then the application shall be deemed concurrent and a concurrency reservation for transportation and schools will be approved.
For all multiple-family and non-residential subdivisions, a binding concurrency determination shall be required as part of the Commercial Site Plan review process following recording of a final plat.
The approval of a Right-of-Way Subdivision plat shall not be construed as final development approval for purposes of issuance of a Certificate of Concurrency.
A binding concurrency determination shall become effective from the date of approval of the preliminary plat and construction plans by the Subdivision Review Team and shall remain in effect until the plat is recorded, or for 24 months, whichever comes first. If the final plat has not been recorded within 24 months, then the concurrency approval and reservation for transportation and schools shall expire.
9.6.1
LETTER OF AUTHORIZATION REQUIRED
Upon approval of the preliminary plat and construction plans by the Subdivision Review Team, the Community Development Department shall notify the Director of Public Works. When the Director of Public Works has verified all plans, permits and guarantees have been approved by all city departments, the Director shall issue a Letter of Authorization allowing the construction of subdivision improvements to commence. Construction of subdivision improvements shall not commence unless and until the Public Works Director has issued a Letter of Authorization.
However, certain land alteration activities may be permitted through the issuance of a Site Alteration Permit in accordance with Section 6.5.
9.6.2
INSTALLATION OF UNDERGROUND UTILITIES
Underground utilities such as electrical lines, telephone lines, cable television lines, water mains, gas mains, wastewater collection facilities, stormwater management facilities, non-potable irrigation water facilities, including conduits, sleeves and/or raceways for future underground utilities, and all service connections at property lines shall be installed prior to the installation of any stabilized subgrade, street base course, paving or curbing; provided, however, that underground utilities may be installed after installation of street base course, paving or curbing in accordance with procedures approved by the Director of Public Works.
9.6.3
SUPERVISION, INSPECTION, TESTING AND CERTIFICATION
9.6.3.1
Construction Supervision by Developer's Engineer
The developer shall be responsible for employing a Professional Engineer licensed in the State of Florida who shall inspect the construction of all subdivision improvements and certify that the subdivision improvements have been constructed in substantial accordance with the approved plans and specifications.
9.6.3.2
Construction Inspection and Testing
a.
The Director of Public Works shall be notified at least 48 hours before any construction is to start. The director shall make or cause to have made periodic inspections of the subdivision construction. Within any given geographic area, the following construction operations shall proceed in the order in which they are listed with subsequent operations being allowed to proceed only upon satisfactory completion of required inspections and tests for preceding operations:
(1)
Installation of underground utilities and stormwater systems;
(2)
Subsoil excavation, as required;
(3)
Construction of roadway subgrade and curb;
(4)
Construction of roadway base; and
(5)
Construction of roadway surface.
b.
The Director of Public Works shall order such tests to be performed on pipe and concrete work, trench backfill, subgrade construction, base construction and asphaltic concrete surface as necessary to ensure construction is in accordance with the city's specifications. All such tests shall be performed by a qualified geotechnical engineering laboratory with samples drawn from locations designated by the city's inspector. A copy of each test report shall be furnished to the city. During the course of the construction of the subdivision improvements, the city may require the following tests to be performed, the costs of which shall be borne by the developer:
(1)
AASHTO Soil Classification in public right-of-way at any location deemed appropriate by the city's engineer;
(2)
Proctor and densities on embankment construction;
(3)
Florida bearing value or limerock bearing ratios of top 12 inches of subgrade;
(4)
Proctor and densities on subgrade and base;
(5)
Concrete cylinder breaks on curb construction;
(6)
Asphalt extraction on asphaltic concrete surface course;
(7)
Thickness cores on base and pavement;
(8)
Video taping of the interior of storm sewer; or
(9)
Other tests as city deems necessary to ensure compliance with city's requirements.
All construction practices, test methods, frequencies and results must conform to requirements published in current edition of FDOT Standard Specifications for Road and Bridge Construction or adopted City of Lakeland standards.
9.6.3.3
Electrical Inspection and Testing by General Manager of Lakeland Electric
The General Manager of Lakeland Electric may inspect or cause to be inspected all electric distribution conduit system construction, installations and materials. At a minimum, inspections shall be made at the completion of underground electric service. Backfilling may be done to protect the facility; however, all fittings and joints must be left accessible for inspection. Electric Engineering Division inspectors are authorized to call any violation of specifications to the attention of the contractor and may reject materials or suspend work pending resolution of issues or conflicts by the Electric Engineering Division. The General Manager of Lakeland Electric shall be notified at least 48 hours prior to commencement of work. At any time the contractor suspends work for a period exceeding two business days, the General Manager must be notified prior to the restart of work.
9.6.3.4
Water Supply and Wastewater Collection Facilities Inspection and Testing by Director of Water Utilities
The Director of Water Utilities may inspect or cause to be inspected all water supply and wastewater collection systems construction, installations, testing, clearances and materials. Construction coordination, inspection observations, witnessing of testing and acceptance requirements will be defined by the Water Utilities Department and communicated to the developer during review, approval and pre-construction meetings. The developer shall not place any water or wastewater facilities into operation without the prior approval of the Water Utilities Department, the securing of all clearances and receipt of applicable permits.
The Director of Water Utilities shall be notified at least two business days prior to commencement of work. At any time the contractor suspends work for a period exceeding two business days, the Director of Water Utilities must be notified prior to the restart of work.
9.6.3.5
Violation Notice—Construction Not in Compliance with Approved Plans
During the construction of subdivision improvements, if such improvements are found to be defective or not in compliance with the approved plans, the Director of Public Works, may issue a written violation notice to the contractor identifying the nature of the violation and stipulating a time period in which the violation must be corrected. Failure of the contractor and/or developer to correct the violation and to comply with the violation notice may result in any of the following:
a.
The issuance of a stop work order;
b.
The violation notice being referred to the Code Enforcement Board; and/or
c.
The city initiating legal proceedings against the contractor and/or developer.
9.6.3.6
Stop-Work Orders
The Director of Public Works may order work to stop at any point if he determines that it does not conform to these regulations or other applicable municipal requirements, or that it is being performed in a dangerous or unsafe manner. Stop-work orders shall operate to halt construction until necessary corrections have been made.
9.6.3.7
Changes During Construction
Any changes that would result in significant modifications to the approved plans must first be approved in writing by the Director of Public Works, the General Manager of Lakeland Electric, the Director of Water Utilities, and the Director of Parks and Recreation or their designees, as appropriate, following review by the Subdivision Review Team. Revised plans must be signed and sealed by the engineer of record of the project or by his agent. After revised plans have been approved by the city, the developer or his agent will be authorized to issue changes to modify the approved plans. Copies of all plans and/or specifications for which changes have been issued in accordance with the most recent Subdivision Review Procedures shall be provided to the city.
9.6.3.8
Certification by Developer's Engineer
Upon completion of the subdivision improvements, the developer's supervising engineer shall certify to the Director of Public Works in writing that all improvements have been installed and completed in compliance with these and other applicable municipal regulations and shall provide the Director of Public Works, the General Manager of Lakeland Electric, the Director of Water Utilities, and the Director of Parks and Recreation or their designees with all certifications and required submittals, including "as-built" (record) drawings, in accordance with the Engineering Standards Manual.
9.6.3.9
Assurance of Completion Performance Guarantee
At their discretion, the Director of Public Works, the General Manager of Lakeland Electric, the Director of Water Utilities, or the Director of Parks and Recreation may authorize the developer to post an assurance of completion performance guarantee to cover the completion of minor work or the correction of minor deficiencies on subdivision improvements. At a minimum, such guarantee shall be in an amount equal to 125 percent of the cost of completion of the improvements in accordance with the Engineering Standards Manual. The posting of such guarantee shall not prevent the recording of the plat, however, no maintenance guarantee in accordance with Sub-Section 9.6.3.10 shall be accepted and no Certificate of Occupancy shall be issued until all work and deficiencies have been completed and the assurance of completion performance guarantee has been released.
9.6.3.10
Maintenance Guarantee
The developer shall furnish a maintenance guarantee covering all public subdivision improvements that are to be maintained by the City of Lakeland, including but not limited to, streets, drainage systems, utilities and landscaping within public rights-of-way. The guarantee shall be in the form of a bond, cash, cashier's check, or irrevocable letter of credit satisfactory to the City Attorney. At a minimum, the maintenance guarantee shall be in the amount of 15 percent of the engineer's estimate of the construction cost for the publicly-dedicated infrastructure, subject to review and approval by the Director of Public Works. The maintenance guarantee shall not be released nor shall it expire prior to the maintenance periods specified in Sub-Section 9.6.3.11 without the written consent of the Director of Public Works.
In the event of a failure or damage to any subdivision improvements resulting in a safety hazard to the public, the city, after attempting to notify the developer, may make repairs to protect the public and may bill the developer for costs incurred. In the event of an immediate threat to public safety, such attempt at notification may be by telephone. Such failure or damage to subdivision improvements may include ruptured or leaking water or sewer lines, roadway failures, erosion, or any infrastructure failures necessary for the subdivision to be functional. If the developer fails to reimburse the city for all costs associated with completing the repairs the city may use the maintenance guarantee to recover its costs.
9.6.3.11
Certification by Director of Public Works, General Manager of Lakeland Electric, Director of Water Utilities and the Director of Parks and Recreation and Acceptance of Public Subdivision Improvements
When the developer's engineer has certified the public subdivision improvements and the applicable maintenance guarantees have been provided and approved, the Director of Public Works, the General Manager of Lakeland Electric, the Director of Water Utilities, and the Director of Parks and Recreation or their designees shall make one or more inspections as deemed appropriate to determine that all public subdivision improvements have been installed and completed in compliance with the approved construction plans. If such a determination is made, they shall certify this in writing to the City Manager, the Director of Community Development and developer.
If it is determined that the public subdivision improvements have been completed and installed in compliance with the approved construction plans, the following maintenance periods shall apply prior to final acceptance of the public subdivision improvements by the city:
a.
Roadways and roadway drainage systems shall be maintained by the developer for one year, or an alternative length of time approved by the Director of Public Works.
b.
Required landscaping and street trees shall be maintained by the developer for one year, or an alternative length of time approved by the Director of Parks and Recreation.
c.
Potable water and sanitary sewer systems shall be accepted by the City of Lakeland for maintenance, subject to a maintenance guarantee period of not less than one year, or an alternative length of time approved by the Director of Water Utilities.
d.
Electric conduits and transformer pads shall be accepted by the City of Lakeland for maintenance, subject to a maintenance guarantee period of one year from the energized date.
In the event that non-standard or alternative construction methods or materials are proposed by the developer, the city may increase the amount of the maintenance guarantee or extend the maintenance period, or both, to assure that the public subdivision improvements function in accordance with city standards.
At the end of the maintenance periods specified above, the City Manager shall notify the developer in writing of his acceptance or rejection of the infrastructure for city maintenance. The City Manager may accept portions of the public subdivision improvements for city maintenance, in which case the developer shall be released from all liability for those portions that have been accepted.
9.6.4
OFF-SITE IMPROVEMENTS
a.
As a condition of construction plan approval, the city may require the developer to pay a pro-rata share of the cost of providing reasonable and necessary infrastructure improvements, including land and easements, located off-site of the proposed subdivision but required by the proposed subdivision to maintain minimum levels of service, to provide adequate system capacity, to correct potential traffic safety problems, to provide for proper vehicle and pedestrian connectivity and flow, or to mitigate other off-site impacts. Off-site improvements may include the construction of intersection improvements or signalization, widening of roads or addition of turn lanes or shoulders, construction of utilities or extension of utilities up to the limits of private property, drainage improvements, sidewalks and any other infrastructure deemed necessary by the city. In cases where off-site improvements are necessitated by the proposed subdivision, the developer may be required to provide and install such improvements, including land and easements, at his own expense. In cases where off-site improvements will also benefit other property owners, the developer may be required to pay a share of the cost of such improvements proportionate to such benefit in accordance with a development agreement or other instrument acceptable to the City Attorney setting out the method of proportionate allocation. In the event that off-site infrastructure improvements are required, they may be handled in the same manner as on-site improvements or as specified in a development agreement or other instrument.
b.
A performance guarantee shall be required when off-site improvements are to be constructed by the developer within public rights-of-way or publicly owned property. The developer shall provide the performance guarantee as defined in the Engineering Standards Manual prior to the issuance of a Letter of Authorization. Unless otherwise established by the Director of Public Works, the performance guarantee shall be for 125 percent of the engineer's certified cost estimate, as reviewed and approved by the city, for the construction of such improvements and shall be in the form of cash, cashier's check, or irrevocable letter of credit satisfactory to the City Attorney. The city may use the performance guarantee to recover the cost of correcting faulty workmanship, damage caused by on-site or off-site construction, material failures, or other outstanding construction issues.
The performance guarantee shall not be released nor shall it expire without the written consent of the Director of Public Works and shall remain in effect until a maintenance guarantee is provided and accepted by the city for all components covered under the performance guarantee. No Certificate of Occupancy shall be issued nor shall any beneficial occupancy of any buildings take place until the off-site improvements which are required by the city for the specific phase being constructed are complete and a maintenance guarantee has been accepted.
The performance guarantee shall include language giving the city the right to complete the project or to assign the project to others for disposition or completion in the event of default on the guarantee by the developer. In accepting such guarantee, the city shall not in any way be bound to complete the project.
c.
The developer shall furnish a maintenance guarantee covering all off-site improvements. The guarantee shall be in the form of cash, cashier's check, or irrevocable letter of credit satisfactory to the City Attorney. At a minimum, the maintenance guarantee shall be in the amount of 15 percent of the engineer's cost estimate, reviewed and approved by the city, for the improvements. The maintenance guarantee shall be provided prior to release of the performance guarantee. The maintenance guarantee shall not be released nor shall it expire without the written consent of the Director of Public Works.
9.7.1
FINAL PLAT REVIEW, APPROVAL AND RECORDING
9.7.1.1
Preparation and Submission of Final Plat
A final plat shall be prepared by a Professional Surveyor and Mapper licensed in the State of Florida. The final plat shall be in conformance with the approved preliminary plat, the requirements of Chapter 177, F.S., these regulations and the city's Engineering Standards Manual. The applicant shall submit to the Community Development Department six paper prints of the final plat.
9.7.1.2
Size, Scale and Character of Final Plat Drawings
Final plats shall be drawn on sheets that are 24 inches by 36 inches in size and that have a three-inch binding margin on the left side and a one-inch margin on the other three sides, unless otherwise required by Polk County, Florida. They shall be drawn to an engineering scale that is suitable to depict all significant characteristics of the plat.
9.7.1.3
Information Shown on Final Plat Drawings
Information shown on the final plat shall include the minimum information required for a preliminary plat, the requirements of Chapter 177, F.S., and the following:
a.
Location of all existing monuments in or adjoining the subdivision and description of the location of all monuments with relation to range, township and section;
b.
Block and lot numbers;
c.
All data necessary to permit the ready location on the ground of alignment, bearing and length of every boundary, street block, lot and building lines, including the radius, central angle and tangent of curved lines, chord bearing and distance;
d.
Length of all streets as measured along the centerline of road rights-of-way;
e.
All linear dimensions to the nearest one-hundredth (1/100) of a foot;
f.
Dimensions of all angles to the nearest second of arc;
g.
All reservations or dedications of lands to the public, including easements, rights-of-way and any other land dedicated to public use, including reservations or dedications specified in or made necessary by conditions adopted as part of Planned Unit Developments or other zoning ordinances applicable to the subject property;
h.
All reservations or dedications of land to individual lot owners including easements, rights-of-way and any other land dedicated to the private use of individual lot owners;
i.
Maintenance provisions for rights-of-way and common areas;
j.
FEMA 100-year flood elevations where applicable;
k.
Certification statement indicating ownership and owner's dedication of all streets, rights-of-way and any land dedicated to public use;
l.
Where the legal description of the plat, in whole or part, makes reference to, or is coincident with section and quarter section lines, the surveyor shall additionally show on the plat a legible sketch depicting all elements of such resurvey as are necessary to verify placement of said land lines and boundary lines;
m.
Certification statement indicating compliance with Florida Statutes relating to the making of maps and plats by the City Surveyor, to be worded as set forth in Sub-Section 9.7.3.1;
n.
Certification statement indicating approval by the Chairman of the Planning and Zoning Board, to be worded as set forth in Sub-Section 9.7.3.2;
o.
Certification statement indicating approval by the City Manager, to be worded as set forth in Sub-Section 9.7.3.3; and
p.
Certification statement indicating acceptance by the Clerk of the Circuit Court of Polk County, to be worded as follows:
I____________________, Clerk of the Circuit Court of Polk County, Florida, do hereby certify that this plat has been accepted for recording this ____day of _______________, ___.
9.7.1.4
Approval of Final Plat by the Director of Community Development, Director of Public Works, General Manager of Lakeland Electric, Director of Water Utilities and Director of Parks and Recreation
Once the final plat has been reviewed and approved by the Director of Community Development, Director of Public Works, General Manager of Lakeland Electric, Director of Water Utilities and Director of Parks and Recreation, each review department shall forward its recommendation for approval or disapproval to the Community Development Department. When all departments have indicated approval, the Director of Community Development shall schedule the final plat for consideration by the Planning and Zoning Board.
9.7.1.5
Approval or Disapproval of Final Plat by the Planning and Zoning Board
The Planning and Zoning Board shall approve or disapprove a final plat at the meeting at which it is presented for consideration by the Director of Community Development. Approval shall be accomplished by the affirmative vote of a majority of those present and voting. The basis for approval shall be a finding that the final plat conforms to the provisions of these regulations. The basis for disapproval shall be a finding that the final plat does not conform, or there is insufficient information to determine conformance. In arriving at a determination, the Board shall consider the recommendations of the Director of Community Development, the Director of Public Works, the General Manager of Lakeland Electric, the Director of Water Utilities, and the Director of Parks and Recreation or their designees. The Board shall also consider the opinion of the City of Lakeland Surveyor as to whether the plat complies with Florida Statutes relating to the making of maps and plats.
9.7.1.6
Variation of Subdivision Requirements by the Planning and Zoning Board
Variations of subdivision requirements may be granted by the Planning and Zoning Board for a specific plat after review and a recommendation of approval by the Subdivision Review Team. Such variations shall be listed and recorded on the final plat. Such variations shall not be considered variances under Article 12 and the two terms are not synonymous.
9.7.1.7
Communication of Planning and Zoning Board's Decision to Applicant
The Planning and Zoning Board's decision shall be communicated in writing to the applicant and other City Departments by Community Development. If the Board disapproves, the reasons for the disapproval shall be set forth in the written communication.
9.7.2
COMMON AREA MAINTENANCE PROVISIONS
9.7.2.1
Common Area Maintenance Provisions
The Planning and Zoning Board shall approve a final plat only after making a determination that there is a feasible program for the full maintenance and operation of common areas, common improvements and common facilities included in the plat. The final plat of a subdivision shall contain language designating the location of common areas, common improvements and common facilities and the specific entity responsible for the maintenance of said common areas, improvements and facilities. The final plat shall include a provision for the city to assess all private property within the subdivision for the cost of maintenance in the event that inadequate private maintenance of common areas, common improvements or common facilities results in a public nuisance. Where right-of-way and common area maintenance is noted to be a feature of the platting of the subdivision, the City Attorney shall review the language contained within the maintenance responsibility provision to ensure legal enforceability of the maintenance provision prior to the plat being presented to the Planning and Zoning Board.
9.7.3
RECORDING OF FINAL PLAT AND FINAL ACCEPTANCE OF SUBDIVISION IMPROVEMENTS
9.7.3.1
Review of Final Plat by the City Surveyor
Following certification by the Director of Public Works, General Manager of Lakeland Electric, Director of Water Utilities and the Director of Parks and Recreation that the subdivision improvements have been completed and installed in compliance with these regulations, the applicant shall submit to the Community Development Department final plat documents for the purpose of recording the plat in the Official Public Records of Polk County. Final plat documents shall consist of: 1) the original ink on Mylar drawing of the final plat or an equivalent photographic Mylar copy thereof; and 2) two reproducible Mylar copies of the original ink on Mylar drawing of the final plat.
The final plat shall be reviewed by the City of Lakeland Surveyor to determine if the plat is in compliance with Florida Statutes relating to the making of maps and plats. If he determines that the plat is in compliance, he shall document the compliance by signing and sealing an appropriate statement on the original drawing and on the reproducible Mylar copies of the plat. The statement shall be worded as follows:
STATE OF FLORIDA
COUNTY OF POLK
CITY OF LAKELAND
This plat has been reviewed and found to be substantially
in compliance with the provisions of Chapter 177, Florida
Statutes, relating to the making of maps and plats. This
____ day of ___________________, ____.
______________________________
Name
Florida Registration # ____________
City Surveyor
9.7.3.2
Signing of Approved Plat by the Chairman of Planning and Zoning Board
If the plat is approved, the Chairman of the Planning and Zoning Board shall document the approval by signing an appropriate statement on the original ink on Mylar drawing and on two reproducible Mylar copies thereof. The statement shall be worded as follows:
This plat is hereby approved by the City of Lakeland Planning and Zoning Board this
___ day of ____________, ____.
_________________________, Chairman
9.7.3.3
Approval of Plat by City Manager
After the original ink on Mylar drawing and two reproducible Mylar copies thereof have been signed by the Chairman of Planning and Zoning Board, the signed Mylars shall be transmitted to the City Manager. The City Manager shall determine whether or not all requirements of these regulations and all other relevant city requirements are met. If he determines that all requirements are not met, he shall so notify the applicant in writing with specific details. If he determines that all requirements are met, he shall document the approval of the city by signing an appropriate statement on the original ink on Mylar drawing and on the reproducible Mylar copies of the plat. The statement shall be worded as follows:
This plat is hereby approved on behalf of the Lakeland City Commission pursuant to Ordinance Number 3412 this _____day of_____________, _____. ____________________________, City Manager
Requirements of these regulations which the City Manager must determine are met before signing the final plat shall include, but not necessarily be limited to the following:
a.
Payment of all costs incurred pursuant to the acquisition of easements and rights-of-way as provided in Sub-Sections 9.3.1.7 and 9.6.4;
b.
Either construction and certification of all subdivision improvements pursuant to Sub-Section 9.6.3.11, or performance guarantees of improvements pursuant to Sub-Sections 9.6.3.9 and 9.3.1.7;
c.
Provision of maintenance guarantees for the maintenance of subdivision improvements pursuant to the performance and maintenance guarantees required in the Engineering Standards Manual; and
d.
Provision of documentation and payment of construction plan review fees, field inspection fees and recording fees as required by Sub-Section 9.7.3.4.
(Ord. No. 5455, 07-21-14)
9.7.3.4
Notification of City Manager's Signature, Required Documentation and Required Recording Fees
Prior to the recording of the plat by the City Manager or his designee, the following must be provided by the applicant: 1) documentation that no taxes are due on the property; 2) documentation of title as required by Chapter 177, F.S.; 3) payment of filing fees; 4) payment of construction plan review fees; and 5) payment of field inspection fees. Required tax and title documentation must be dated not more than 30 days prior to recording. After the City Manager has signed the final plat, the applicant shall be notified of the signing and of his documentation and payment obligations pursuant to this section.
9.7.3.5
Recording of Final Plat
The City Manager or his designee shall record the final plat after it has been signed by the City Manager, provided that no plat shall be recorded more than 30 days after the date of a title opinion acceptable to the city.
9.7.3.6
Community Development Department Repository for City's Mylar Copies of Final Plats
After a final plat has been recorded by the City Manager or his designee, one of the reproducible photographic Mylar copies shall be transmitted to the Community Development Department, which shall be responsible for preserving it and making copies as necessary.
9.7.3.7
Final Inspection of Subdivision Improvements and Release of Maintenance Guarantee
In order for the maintenance guarantee to be released, the developer shall request that the Director of Public Works conduct a final inspection. To assure that the inspection can be performed in time, the request shall be made no later than 60 days prior to the expiration of the maintenance period. Upon receipt of such request in writing, the Director of Public Works shall schedule the inspection which shall include all city departments having responsibility for maintenance of public subdivision improvements subject to the guarantee. Compliance with conditions of zoning or other special conditions that have been placed upon the development may also be verified during the final inspection. Any deficiencies shall be corrected at the developer's expense and another inspection shall be requested.
Each department having responsibility for maintenance of public subdivision improvements subject to the guarantee shall notify the Director of Public Works in writing if the improvements are acceptable for public maintenance. When all departments have indicated that the development has passed final inspection, the Director of Public Works shall return the maintenance guarantee to the developer and shall notify all city departments.
In the event the developer does not request a final inspection before the expiration of the guarantee period, the Director of Public Works may authorize an extension. If the developer does not request a final inspection within one year of the expiration of the maintenance period, including extensions, the city may utilize the funds from the guarantee to make repairs or replacements as necessary to accept the improvements for public maintenance.
The maintenance guarantee shall not be released and shall not expire without the written consent of the Director of Public Works.
9.7.3.8
Final Acceptance of Public Subdivision Improvements by the City
Acceptance by the city of rights-of-way, easements and/or other ground dedicated to the public occurs upon recording of the final plat by the City Manager or his designee. Acceptance of public improvements for maintenance occurs upon release of the maintenance guarantee by the Director of Public Works.
All subdivisions shall be designed in a manner which fully complies with the applicable provisions of this section and other sections of these regulations and with applicable sections of the following:
a.
Engineering Standards Manual;
b.
Chapter 177, F.S., or successor provisions; and
c.
Chapter 472, F.S., Chapter 5J-17, FAC, or successor provisions.
9.8.1
STREETS AND ALLEYS
9.8.1.1
Conformity to Comprehensive Plan
All streets, roadways and public rights-of-way shall be consistent with the Lakeland Comprehensive Plan.
9.8.1.2
Relation to Existing Street System
The arrangement of streets shall provide for the continuation of principal streets between adjacent properties when such continuation is necessary for convenient movement of traffic, effective fire protection, efficient provision of utilities, and where such continuation is in accordance with the city's Comprehensive Plan or with any more specific plans adopted by the city in furtherance of the Comprehensive Plan. If the adjacent property is undeveloped and the street must be a dead-end street temporarily, the right-of-way shall be extended to the property line. A temporary T- or L- shaped turnaround or cul-de-sac approved by the Director of Public Works shall be provided on all temporary dead-end streets, with the notation on the subdivision plat that land outside the normal street right-of-way shall revert to abutting property owners at such time as the street is continued. The city may limit the length of temporary dead-end streets in accordance with the design standards of these regulations.
9.8.1.3
Street Right-of-Way Widths
Street right-of-way widths shall be determined by the Director of Public Works or the state or county agency having jurisdiction. Determinations shall be based on traffic-carrying characteristics, stormwater management requirements and other pertinent considerations, provided however that no width shall be less than set forth below for urban design typical sections of streets as defined in Article 2:
a.
Arterial Streets and Highways: 120 feet
b.
Collector Streets: 80 feet
c.
Local Streets: 50 feet
d.
Alleys: 20 feet
Street rights-of-way shall be of sufficient width to accommodate all elements of the selected typical street sections. Figure 9.9-3 and Figure 9.9-4 illustrate minimum requirements of typical right-of-way sections for local and collector streets respectively. Detailed design standards for roadway, stormwater, water, wastewater and electric facilities are contained in the city's Engineering Standards Manual. The city shall require additional right-of-way width for other typical sections such as boulevard sections and rural design sections as deemed appropriate, or as needed for a specific project.
(Ord. No. 5522, 07-20-15; Ord. No. 5720, 06-18-18)
9.8.1.4
Additional Right-of-Way on Existing Streets
Subdivisions that abut or adjoin existing streets shall dedicate additional right-of-way required to meet the minimum widths set forth in Sub-Section 9.8.1.3 according to the following conditions:
a.
The entire width of the necessary additional right-of-way shall be dedicated in accordance with Sub-Section 9.8.1.3 when and where any part of the subdivision is on both sides of the existing street.
b.
The additional right-of-way required on the applicant's side shall be dedicated as specified by the Director of Public Works in accordance with Sub-Section 9.8.1.3, when and where the subdivision is located on one side of an existing street.
9.8.1.5
Restriction of Access
All vehicle access points shall be in accordance with Section 4.2 (Access Management).
(Ord. No. 5455, 07-21-14)
9.8.1.6
Grades, Alignment and Other Design Characteristics
Grades, alignment and other design characteristics shall be in accordance with the State of Florida Manual of Uniform Minimum Standards for the Design, Construction and Maintenance of Streets and Highways.
9.8.1.7
Intersections
Street intersections shall be as nearly at right angles as is practicable. Street jogs or offsets in horizontal alignment of streets across intersections shall not be made within less than 125 feet of opposing street centerlines as shown in Figure 9.9-2.
9.8.1.8
Cul-De-Sac Streets
a.
Minor streets or courts designed to have one end permanently closed shall not be more than 1,200 feet in length as measured from the center of the intersecting street to the center of the cul-de-sac. Such streets shall be provided at the closed end with a turnaround having an outside right-of-way radius of not less than 50 feet.
b.
Where it is necessary to provide for street access to adjoining property or for future extension of proposed streets, rights-of-way shall be extended by dedication to adjoining property boundaries with no reserve strips between the right-of-way and property line; and the developer shall provide a turnaround as required in Sub-Section 9.8.1.2 to exist until the street is extended.
9.8.1.9
All Lots Served by Street; Reserve Strip Restricted
Every lot shall be served by either a public or private street. There shall be no reserve strips controlling access to any streets, except where the control of such strips is definitely and permanently placed with the public under conditions approved by the Planning and Zoning Board.
9.8.1.10
Half-Street Prohibited
Half-streets are prohibited. All streets on the boundary of a subdivision shall be of full width, as set forth in Sub-Section 9.8.1.3.
9.8.2
STREET NAMES
Streets that are in alignment with existing streets shall bear the name of the existing streets. Street names shall not contain directions (east, west, north, south) nor be spelled the same as, or be phonetically similar to, the names of existing streets; neither shall such words as "way," "drive," "court," etc., be used to designate different roads with the same name. However, it is not the intent of this section to prevent the use of such words as "way," "drive," "court," "circle," to designate different streets of the same name, within the boundaries of one platted subdivision. It is the intent of this section that no subdivision have streets named the same as any other subdivision's streets, or any other street or road. For the purposes of this section, the term "streets" shall include all streets and roads within and adjacent to the greater Lakeland Addressing District, not just those in the city of Lakeland. Streets shall be named in accordance with the Polk County Addressing Ordinance, and the street naming set forth in Figure 9.9-1. All street names must be approved by the city's Property Information Office.
9.8.3
BLOCKS
9.8.3.1
Length
Blocks shall be in accordance with the maximum block face and block perimeter requirements for the particular context sub-district as set forth in Tables 3.4-1 through 3.4-9, except as the city determines necessary to secure a more efficient use of land or desired features of street pattern.
9.8.3.2
Width
Blocks shall be wide enough along the shortest dimensions to permit two tiers of lots of minimum depth, except where fronting on arterial streets and the rear of lots abut the arterial street. In no other case shall conditions be approved which permit a single tier of lots to be served by two streets.
9.8.4
LOTS
9.8.4.1
Arrangement
Insofar as practical, side lot lines shall be unbroken and at right angles to straight street lines, and radial to curved street lines. The creation of new flag lots, whether through the subdivision process or as a simple parcel split, shall be prohibited. New through lots may only be created as part of the platting of a new subdivision, or as part of a replat of an existing subdivision, in which all lots within a given block are through lots with a uniform lot depth.
9.8.4.2
Minimum Size
Every lot shall abut a street for a distance not less than 40 feet unless the minimum lot width for the context sub-district is less than 40 feet, in which case the minimum street frontage shall be the minimum lot width. No building lot shall be permitted that is smaller in area than is required by these regulations for the context sub-district in which the proposed subdivision is located.
9.8.4.3
Splitting and Combining of Existing Lots and Parcels
a.
All requests for lot and parcel splits shall be processed through the Polk County Property Appraiser's Office by submitting a request to combine or split real property.
b.
For properties that are currently improved, the owner of the property will be required to submit a survey which shows the setbacks and location of all improvements on the property.
c.
Lot and parcel splits which result in the creation of nonconformities with respect to the setbacks for principal and accessory structures, orientation of the required front and rear yards, and the location of required off-street parking shall be prohibited.
d.
Lot and parcel splits which would result in the separation of any required off-street parking, driveway aprons or other facilities serving a principal structure on the property shall not be processed until such facilities have been reconstructed in accordance with the current Land Development Code standards.
e.
Any encroaching structures on the newly created lot or parcel shall be removed or relocated unless there is an approved permit for the construction of a new principal structure. For the purposes of this section, encroachments shall be defined as any sidewalks, driveways, aprons, patios and other impervious surfaces, and any sheds, detached garages, accessory dwellings, swimming pools, pool pumps, generators, and other accessory structures and equipment which were accessory to the principal structure on the parent parcel.
f.
It shall be the responsibility of the property owner to ensure that any above-ground or below-ground utility feeds which may encroach on a newly-created vacant lot or parcel are relocated prior to the sale or conveyance of the property.
9.8.4.4
Additional Requirements for Splitting and Combining Lots and Parcels in Existing Subdivisions
a.
The splitting and combining of lots and parcels in existing subdivisions shall maintain the lot orientation and block pattern as shown on the recorded subdivision plat. The creation of any new lots or parcels which are oriented contrary to the orientation of lots shown on the recorded plat shall be prohibited.
b.
Any new lots or parcels created shall not restrict access to any existing above-ground or below-ground utilities, alleys, easements, pedestrian facilities or solid waste collection areas.
(Ord. No. 5801, § 1.1(Att. A), 11-18-19; Ord. No. 5899, § 2(Att. A), 10-18-21)
9.8.5
UTILITY EASEMENTS
Except where alleys are provided for the purpose of placing utilities, the city shall require easements of appropriate width, as determined by the city, for the placement and installation of underground electric facilities, wires, pipes, conduits, stormwater management, wastewater facilities, gas, potable water, water reuse, or other utility lines at locations where deemed necessary by the affected utility or department of the city. Figure 9.9-3 and Figure 9.9-4 illustrate typical utility easement width and placement in the context of typical local and collector street sections respectively. Detailed design standards for roadway, stormwater, water, wastewater and electric facilities are contained in the city's Engineering Standards Manual.
The city shall require the dedication of interior utility easements for water, wastewater and electric service including perimeter easements where appropriate. All such easements shall be dedicated by the developer at no cost to the city by plat or separate instrument. Such utility easements shall be in addition to the required dedications for public roads and drainage facilities; however, when conditions warrant general easements may be considered by the city.
(Ord. No. 5522, 07-20-15)
9.8.6
PUBLIC LAND AND SERVICE AREAS
Subdivisions shall provide land areas that are suitably located and of adequate size for playgrounds, parks and other public uses. Where a park site, recreational site, public access to water frontage, or any other public facility shown in the Comprehensive Plan or any other land use plan pursuant to the Comprehensive Plan that has been officially adopted by the City Commission, is located in whole or in part in the applicant's subdivision, the city may require the dedication of such land as lies within the subdivision. Such dedication may be eligible for impact fee credits in accordance with the City of Lakeland Impact Fee Ordinance for Parks and Recreation Facilities.
9.8.7
CHARACTER OF THE LAND
Land which the city finds to be unsuitable for subdividing or development due to flooding, improper drainage, steep slopes, unstable soil, wetlands, adverse earth formations or topography, utility easements, or other features which will reasonably be harmful to the safety, health, and general welfare of the present or future inhabitants of the subdivision and/or its surrounding areas, shall not be platted or developed unless adequate methods are formulated by the developer and approved by the city upon a recommendation of the Director of Public Works, to solve the problems created by the unsuitable land conditions. Such land shall be set aside for uses that shall not present a danger.
9.8.8
MODEL HOMES
Subject to the approval of the Director of Community Development, model homes in residential subdivisions may be constructed prior to the completion of infrastructure improvements and recording of the final plat in accordance with the following:
a.
The number of model homes shall not exceed the greater of five units or 10 percent of the total building lots within any single platted phase, not to exceed 30 total units. Fractions shall be rounded to the nearest whole number.
b.
Certificates of Occupancy for model homes shall not be issued until the plat is recorded.
c.
The phase or site where model homes are to be built shall have an approved set of final construction plans including a preliminary plat approved by the Subdivision Review Team.
d.
Each model home shall be accessible by a stabilized road base meeting the minimum requirements of the latest edition of the NFPA 1 Fire Code.
e.
There shall be no water, electric or sanitary sewer service to individual model homes until the plat is recorded.
f.
Temporary metered water service may be provided to the parent tract in accordance with Water Utilities Department procedures and fees. If the developer extends temporary water service to any individual model home, a properly permitted wastewater collection/treatment system such as a temporary septic system or pump out tank shall be provided.
g.
Prior to the placement of combustible materials on any model home construction site, fire suppression water shall be available from a fully functioning hydrant within 1,000 feet of the site measured by the route of vehicle travel along approved roadways and/or stabilized road base.
h.
Temporary electric service may be provided to the parent tract in accordance with Lakeland Electric procedures and fees.
Subdivision improvements shall be constructed in a manner which fully comply with the applicable provisions of this section and other sections of this code and with applicable sections of the following:
a.
Engineering Standards Manual and other references contained therein;
b.
Manual of Uniform Standards for Design, Construction and Maintenance of Streets and Highway, Florida Department of Transportation, latest edition;
c.
"Standard Specification for Road and Bridge Construction," Florida Department of Transportation, latest edition;
d.
"Roadway Design Standard Detail Indexes," Florida Department of Transportation, latest edition;
e.
Manual of Uniform Traffic Control Devices, latest edition;
f.
Drainage Manual, Florida Department of Transportation, latest edition;
g.
Chapter 5J, FAC, Chapter 471, F.S. and Chapter 472, F.S., or successor provisions;
h.
Chapter 177, F.S., or successor provisions; and
i.
City of Lakeland Fire Code.
9.9.1
UTILITIES
9.9.1.1
Water Supply
Water mains properly connected with the public water supply system or other approved system shall be installed in such a manner as to adequately serve all lots shown on the subdivision plat for both domestic use and fire protection.
The location, size and types of water mains, valves and fire hydrants; the amount of soil cover over the pipes; and other features of the installation shall be as required by the city. The water distribution system shall be installed by the developer at his expense, except for specifically designated oversizing required by the city. The design and the construction of the system must be approved by the city and the necessary permits for system construction must be obtained from the Florida Department of Environmental Protection prior to the start of system installation.
Cross-Connection Control
All new connections to the public water supply system shall have an appropriate cross-connection control device meeting city standards and conforming to the current rules and regulations of the Florida Department of Environmental Protection. Such devices shall prevent the backflow of contaminated water into the potable water distribution network.
Water Conservation Requirements
All new residential, commercial and industrial connections will be required to utilize water-conserving fixtures in accordance with Florida Plumbing Code. In addition, all subdivisions will be required to recommend the use of Florida-Friendly landscaping plants and grasses to minimize supplemental water use. All lawn irrigation systems shall be designed for efficient water use.
9.9.1.2
Wastewater Collection
When any part of a proposed subdivision is within 1,250 feet of a usable public wastewater collection system, all lots in the subdivision shall be connected therewith unless otherwise determined by the Director of Water Utilities based on considerations of the cost effectiveness or availability of capacity. The cost of providing the wastewater collection facilities shall be paid by the developer, except as provided by Sub-Section 9.6.4. The design and the construction of the system shall be approved by the Director of Water Utilities in accordance with the Engineering Standards Manual and the necessary permits for system construction shall be obtained from the Florida Department of Environmental Protection prior to the start of system installation.
9.9.1.3
Irrigation Water Supply
Non-potable water sources, such as shallow groundwater wells or stormwater retention ponds, shall be used for the irrigation of common landscaped areas in new residential subdivisions and new non-residential subdivisions unless the Director of Water Utilities determines that a non-potable source is infeasible. The use of potable water for irrigation of such areas shall be subject to the approval of the Capacity Review Committee. Non-potable irrigation systems shall be considered privately owned and operated systems even when such systems are under the control of a homeowners or property owners association. Accordingly, all parts of such non-potable irrigation systems shall be located outside of public rights-of-way and public easements. All non-potable irrigation systems shall comply with applicable city standards and state regulations (i.e.; pipe colors, minimum separations). Subdivisions having non-potable irrigation systems shall be required to install an approved cross-connection control device (backflow preventer) on all potable water services. Private irrigation systems shall not be installed within city rights-of-way unless the city enters into a written agreement with the entity responsible for the irrigation system for maintenance of the system and for repair of any damage to public facilities resulting from failure of the irrigation system. All irrigation systems, including non-potable systems, are subject to City of Lakeland watering restrictions and Water Management District declarations.
9.9.1.4
Stormwater Management
The developer shall install storm drain pipes, catch basins, and all other such facilities of sizes and alignments to provide suitable management of stormwater runoff in conformity with good standards of practice for municipal stormwater management systems, as approved by the Director of Public Works in accordance with the city's Engineering Standards Manual.
Stormwater management facilities shall be landscaped in accordance with Sub-Section 4.5.8.3.
9.9.1.5
Underground Electric Distribution Facilities and Services
The design of underground electric distribution facilities and service shall be approved by the General Manager of Lakeland Electric. The cost of such underground electrical distribution and service facilities shall be established in accordance with the policies, rules and regulations, adopted by the City Commission and the General Manager of Lakeland Electric, then in effect.
9.9.1.6
Street Lighting Systems
Street lighting systems shall be designed by the General Manager of Lakeland Electric.
9.9.1.7
Street Trees
Street trees shall be provided within rights-of-way along both sides of streets or roads of all subdivisions. For purposes of this section, street trees shall be those species identified as street trees in Table 4.5-6 (Landscaping and Tree Regulations) and having a minimum height of eight feet and a one-inch diameter trunk at breast height (DBH) or a one and one-half inch diameter trunk at six inches above grade at time of planting. Street trees shall be planted at a ratio of one tree per 50 linear feet of roadway and in accordance with the typical street sections in Figures 9.9-3 and 9.9-4. The required street trees shall be in addition to trees required by Sub-Section 4.5.4. Planting and irrigation plans shall be approved by the Director of Parks and Recreation who shall also have the authority to modify these requirements, including but not limited to situations in which compliance cannot be met due to conflicts with utilities, lighting, driveway connections or other physical site constraints. Street trees shall be planted prior to final acceptance of public subdivision improvements except that street trees adjacent to residential lots shall be planted prior to issuance of a Certificate of Occupancy for each residential unit.
9.9.2
TRAFFIC CONTROL DEVICES
9.9.2.1
Street Name Signs
No less than one street name sign per intersection shall be installed by the developer. The street name sign, post and mounting shall meet the current standards established by the city.
9.9.2.2
Traffic Control Signs
Regulatory and warning signs shall be installed by the developer. The sign locations and types shall be in accordance with recommendations set forth in the Manual of Uniform Traffic Control Devices.
9.9.2.3
Pavement Marking
All pavement marking shall be thermoplastic. All arterial and collector streets shall be striped with centerline and other markings as recommended in the Manual of Uniform Traffic Control Devices.
9.9.2.4
Traffic Signals
In certain instances where it has been determined by the city that the development of a subdivision will require traffic signals, the developer will install, or cause to have installed, properly designed and engineered traffic signal systems approved by the city. If more than one subdivision, or if a subdivision and one or more other developments together, necessitate installation of traffic signals, then the city may require each subdivision and/or other development to pay a proportional share of the cost of necessary traffic signals. Proportional shares shall be determined based on the relative amount of traffic each subdivision and/or other development contributes to the need for signals as determined by the city.
9.9.2.5
Method of Installation or Payment
If it is mutually agreeable, the city will fabricate and install traffic signs, pavement markings and traffic signals upon receipt of payment from the developer for the installations.
9.9.3
MONUMENTS
Plat monuments shall conform to the requirements of Chapter 177 F.S.
9.9.4
PERMITS REQUIRED BY GOVERNMENTAL AGENCIES
The developer shall be responsible for obtaining all required environmental, water management and construction permits from governmental regulatory agencies who exercise jurisdiction over activity requiring such a permit. Construction shall not begin prior to the receipt of such permits. Governmental regulatory agencies that may be involved in the issuance of various required permits include but are not necessarily limited to:
Southwest Florida Water Management District (SWFWMD)
Florida Department of Environmental Protection (FDEP)
Florida Department of Transportation (FDOT)
Polk County Health Department (PCHD)
Polk County Engineering Department (PCED)
US Army Corps of Engineers (ACOE)
Figure 9.9-1 Street Naming System
NOTE: Road names which are in alignment with existing roads shall bear the name of existing road. Road names shall not be spelled the same as, nor be phonetically similar to the names of existing roads; neither shall such words as "Way", "Drive", "Court", etc. be used to designate different roads with the provisions of this Sub-Section to prevent the use of such words as "Way, "Drive", "Court", "Circle", etc., to be used to designate different streets of the same name, within the boundaries of the platted subdivision. However, it is the intent that no subdivision have streets named the same as any other subdivision's streets, or any other road or street.
Figure 9.9-2 Street Intersection Location Standards
Figure 9.9-3 Typical 50' Minimum Right-of-Way Section
Figure 9.9-4 Typical 60' Minimum Right-of-Way Section