DALIDIO RANCH
This chapter provides standards and regulations for development within the Dalidio Ranch zoning district. This chapter was enacted by initiative. Notwithstanding any other provision of the County Code, and to ensure that development of the Dalidio Ranch Project is subject to express, objective standards that cannot be changed through subsequent discretionary actions or interpretations, the Dalidio Ranch zoning district shall be and is deemed a new zoning district that exists independent of other zoning requirements, including the balance of Title 22. Land subject to the Dalidio Ranch zoning district shall not be subject to any provision of San Luis Obispo County Code that purports to regulate or guide land use or development, except those contained in this Chapter 22.113.
[Added by the 2006 Dalidio Ranch Initiative Measure]
No development shall occur within the Dalidio Ranch zoning district unless it is consistent with the Dalidio Ranch land use category of the General Plan and this Chapter 22.113. If an application is presented for development that is consistent with the Dalidio Ranch land use category, this Chapter 22.113, and grading and building standards of Title 19 of the County Code that are applicable to all development in San Luis Obispo County, then the application shall be ministerially granted. Certificates of occupancy shall also issue ministerially provided only that construction conforms to county-wide building and grading requirements for issuance of such certificates, and to the regulations of the Dalidio Ranch zoning district. No additional approvals or entitlements, including but not limited to departmental review approval, conditional use permit, land use permit, minor use permit, any approval or requirement of the resource management system, any approval of requirement of the growth management ordinance, development plan, planned development, variance, plot plan approval, zoning clearance, site plan approval, site plan review, minor use permit, or any other review or entitlement purporting to regulate or guide land use or development shall be required by the County to develop the project described in such application.
[Added by the 2006 Dalidio Ranch Initiative Measure; Amended 2014 Ord. 3256]
Development within the Dalidio Ranch zoning district shall be subject to the conditions listed in Attachment F of the Dalidio Ranch Initiative, which include provisions relating to funding for traffic improvements, phasing that ensures timely development of community amenities, and restrictions and limitations upon development. The County shall have available to it for enforcing the conditions listed in Attachment F the same enforcement mechanisms as it would have for conditions of approval of other development projects, except that the County shall not have the power to revoke, repeal, amend or stay the Dalidio Ranch General Plan Amendment or the Dalidio Ranch Rezoning. Upon request of the owner of the affected portion of the Property, the County shall administer and apply the conditions and restrictions set forth in Attachment F in the same malliler and according to the same processes as are used to administer and apply conditions of approval imposed on all other development projects in the County, including the substitution of equivalent measures, without the need for a vote of the people.
[Added by the 2006 Dalidio Ranch Initiative Measure; Amended 2014 Ord. 3256]
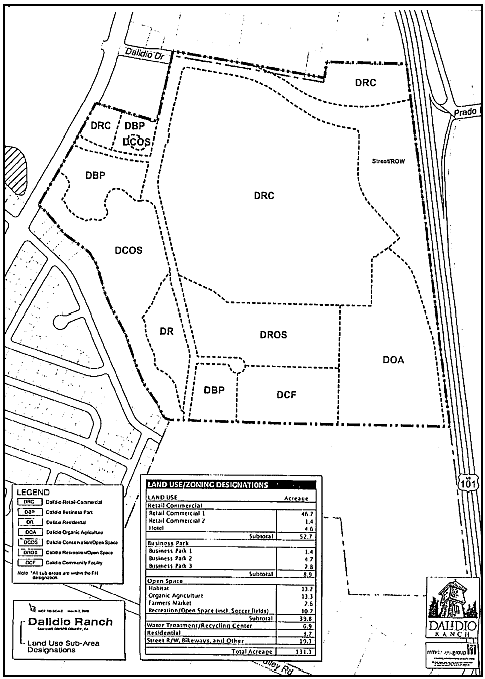
The Dalidio Ranch zoning district provides for seven subareas in order to address the varied uses and characteristics of the project site. Attachment C illustrates the location and boundaries of each of the subareas and Attachment D illustrates the planned improvements. A listing of the subareas is provided below and the following sections identify development standards and allowable uses for each subarea. The footprints of the buildings shown in the commercial/retail subarea on Attachment D are illustrative. The actual footprints of the constructed building may vary so long as no building exceeds 140,000 square feet. The boundaries of the subareas and the improvements depicted for each use within a subarea may vary from those shown on Attachment C so long as the total area devoted to any particular use is not increased by more than five percent, and so long as the geographic relationship between the various uses does not change.
[Added by the 2006 Dalidio Ranch Initiative Measure; Amended 2014 Ord. 3256]
A.
Purpose and application. The DRC subarea is intended to provide for a wide range of retail sales, business, personal, and professional services, as well as recreation, entertainment, and transient lodging. The land uses allowed in this zone will generally serve the entire community and the region, as well as tourists and travelers, complimented by neighborhood serving commercial retail uses and services.
B.
Property development standards. The property development standards for the DRC subarea are as follows:
1.
Maximum density: A maximum of 150 rooms for hotel or motel uses.
2.
Maximum height: 35 feet to top of structure and 45 feet to top of architectural feature. This limitation does not apply to hotel or motel uses. A hotel or motel may be up to 4 stories plus mechanical equipment and elevator shafts.
3.
Maximum coverage: 100 percent.
4.
Maximum floor area ratio: The ratio of gross building floor area to site area (defined as the area of the DRC Subarea) shall not exceed 3.0. The maximum floor ratio area does not apply to a hotel or motel.
5.
Parking requirements: Commercial center: 1 space per 250 square feet of use area; Hotels/motels: 2 spaces, plus 1 per unit, plus 1 per 10 units.
6.
Minimum and maximum building size and configuration:
a.
Commercial Retail Uses. Not more than 530,000 square feet of retail uses with no one building larger than 140,000 square feet. Major retail tenants with combined space up to 415,000 square feet. Up to 6 major tenants in spaces no smaller than 20,000 square feet
7.
Signs. Signage shall be reasonably consistent with signs for comparable uses in the surrounding area.
8.
Allowable Uses.
Automobile Service Stations/Gas Stations
Banks & Financial Services
Business Support Services
Building Materials & Hardware
Car Wash
Financial Services
Furniture, Home Furnishings & Equipment
General Retail
Grocery Stores
Health Care Services
Indoor Amusements and Recreation
Mail Order & Vending
Lodging - Bed & Breakfast Inns, 4 or more units
Lodging - Hotels & Motels, 39 or less units
Lodging - Hotels & Motels, 40 or more units
Lodging - Hotels & Motels, Condominium
Offices
Offices - Temporary
Outdoor retail sales
Personal Services
Repair Services - Consumer Products
Restaurants
Roadside Stands
Storage - Accessory
Temporary Construction Yards (off-site)
Temporary Events
Entertainment
[Added by the 2006 Dalidio Ranch Initiative Measure; Amended 2014 Ord. 3256]
A.
Purpose and application. The DBP subarea is intended to provide for offices and business services convenient to public transportation and commercial uses and services.
B.
Property development standards. The property development standards for the DBP subarea are as follows:
1.
Maximum density: No dwelling units allowed.
2.
Yards: Front yard setback shall be 20 feet
3.
Maximum height: 35 feet to top of structure plus mechanical equipment and 45 feet to top of architectural feature.
4.
Maximum coverage: 75 percent.
5.
Maximum floor area ratio: The ratio of gross building floor area to site area (defined as the area of the DBP Subarea) shall not exceed 1.5.
6.
Parking requirements: Parking shall be reasonable consistent with parking for comparable uses in the surrounding area.
7.
Signs. Signage shall be reasonably consistent with signs for comparable uses in the surrounding area.
8.
Allowable Uses.
Banks & Financial Services
Business Support Services
Health Care Services
Mail Order & Vending
Offices
Offices - Temporary
Personal Services
Repair Services - Consumer Products
Storage - Accessory
Temporary Construction Yards (off-site)
Temporary Events
[Added by the 2006 Dalidio Ranch Initiative Measure; Amended 2014 Ord. 3256]
A.
Purpose and application. The DR subarea is intended to primarily to provide housing opportunities for smaller households desiring little private open space and to provide various types of group housing. This area is close to commercial and recreational facilities serving the whole community.
B.
Property development standards. The property development standards for the DR subarea are as follows:
1.
Maximum density: 18 dwellings units per net acre.
2.
Maximum number of dwelling units: 60 dwelling units.
3.
Yards: Front yard shall be 20 feet. Rear yard shall be 10 feet. Other yards shall be 5 feet. Yard setbacks for common interest developments shall only apply to project perimeter.
4.
Maximum height: 35 feet.
5.
Maximum coverage: 60 percent.
6.
Parking requirements: Resident Parking: 1 space per one bedroom or studio unit, 1.5 spaces per two bedroom units, 2 spaces per three or more bedrooms, plus Guest Parking: 1 space, plus 1 space for each 4 units, or fraction thereof.
7.
Signs. Signage shall be reasonably consistent with signs for comparable uses in the surrounding area.
8.
Allowable Uses.
Accessory Dwelling Units
Caretaker Residence
Home Occupations
Multi-Family Dwellings
Residential Accessory Uses
Single-Family Dwellings
Temporary Construction Trailer Parks
Temporary Dwellings
Temporary Events
[Added by the 2006 Dalidio Ranch Initiative Measure; Amended 2014 Ord. 3256; 2020, Ord. 3409]
A.
Purpose and application. The DOA subarea is intended to encourage conservation of agricultural lands and the continuation of agricultural uses compatible with urban development. Agriculturally-related uses such as farmers markets are also allowed as a companion use.
B.
Property development standards. The property development standards for the DOA subarea are as follows:
1.
Maximum density: No dwellings units allowed (except for a single caretakers unit or agricultural worker housing).
2.
Parking requirements: Improved off -street parking and loading spaces are allowed only as necessary to satisfy on-site uses.
3.
Signs. Signage shall be reasonably consistent with signs for comparable uses in the surrounding area.
4.
Allowable Uses.
Ag Processing
Agricultural Accessory Structures
Caretaker Residence
Crop Production
Outdoor Retail Sales (includes Farmers Markets)
Storage - Accessory
Temporary Events
Organic Food Service
[Added by the 2006 Dalidio Ranch Initiative Measure; Amended 2014 Ord. 3256; 2020, Ord. 3417]
A.
Purpose and application. The DCOS sub-area applies to an area most suitable for open space uses because of topography, geology, vegetation, soils, wildlife habitat, scenic prominence, or flood hazard. The DCOS sub-area is intended to prevent exposure of urban development to unacceptable risks posed by natural hazards and to protect natural resources from disruptive alterations.
B.
Property development standards and allowable uses. The property development standards for the DCOS subarea are as follows:
The use of this sub-area is limited to resource conservation, including conservation of the riparian area, trees and related animal and plant biological resources. Public viewing of the resources is allowed. Also, use of the sub-area for a portion of the Bob Jones Trail is allowed. Improvements related to these uses are limited to pathways, seating, signage, storage buildings, viewing platforms and similar such improvements.
[Added by the 2006 Dalidio Ranch Initiative Measure; Amended 2014 Ord. 3256]
A.
Purpose and application. The DROS sub-area is intended to provide for sports; active recreational uses or civic uses.
B.
Property development standards. The property development standards for the DROS subarea are as follows:
1.
Yards: 20 feet from residential uses No setback from non-residential uses.
2.
Maximum height: N/A.
3.
Maximum coverage: N/A.
4.
Maximum floor area ratio: N/A.
5.
Parking requirements: Necessary parking for on-site uses only.
6.
Signs. Signage shall be reasonably consistent with signs for comparable uses in the surrounding area.
7.
Allowable Uses.
Outdoor Sports & Recreational Facilities
Outdoor Athletic Facilities
Recreation Equipment Rental - Non-motorized
Storage - Accessory
Temporary Construction Yards (off-site)
Temporary Events
Historic Barn
[Added by the 2006 Dalidio Ranch Initiative Measure; Amended 2014 Ord. 3256]
A.
Purpose and application. The DCF subarea is intended for infrastructure in support of the overall project including a package plant for water and wastewater services. In the event water and wastewater services are secured from a public agency and the package plant is not needed to implement the Dalidio Ranch project, this portion of the DCF subarea may be developed under DROS subarea zoning uses.
B.
Property development standards. The property development standards for the DCF subarea are as follows:
1.
Yards: N/A.
2.
Maximum height: N/A.
3.
Maximum coverage: N/A.
4.
Maximum floor area ratio: N/A.
5.
Parking requirements: Necessary parking for on-site uses only.
6.
Signs. Signage shall be reasonably consistent with signs for comparable uses in the surrounding area.
7.
Allowable Uses.
Private Utility Facility
Storage - Accessory
Temporary Construction Yards (off-site)
Temporary Events
[Added by the 2006 Dalidio Ranch Initiative Measure; Amended 2014 Ord. 3256]
"Ag Processing" means establishments and buildings used to perform a variety of operations on crops after harvest, to prepare them for market on-site or further processing and packaging at a distance from the agricultural area including but not limited to: alfalfa cubing; hay baling and cuing; corn shelling; drying of corn, rice, hay fruits and vegetables; pre-cooling and packaging of fresh or farm-dried fruits and vegetables; grain cleaning and custom grinding; custom grist mills; custom milling of flour, feed and grain; sorting, grading and packing of fruits and vegetables, tree nut hulling and shelling; cotton ginning; wineries, alcohol fuel production; and receiving and processing of green material, other than that produced on-site (commercial composting). Green material is any wastes which are derived from plant material, including but not limited to leaves, grass clippings, weeds, tree trimmings or shrubbery cuttings. Note: any of the above activities performed in the field with mobile equipment not involving permanent buildings (with the exception of the receiving and processing of green material other than that produced on-site) are included under "Crop Production and Grazing."
"Agricultural Accessory Structure" means an uninhabited structure or building designed and built to store implements, supplies or products (not including commercial greenhouses which are included under "Nursery Specialties," or buildings for agricultural processing activities) that contains no residential use and is not open to the public. Also includes greenhouses engaged in agricultural research as the primary use. Agricultural Accessory Structures can also include but not be limited to wind and solar powered devices used for direct climate control, and water pumping or other conversion of wind or solar energy to mechanical or thermal power used on-site. Wind energy conversion machines for electric power generation are separately defined. Includes barns, grain elevators, silos, and other similar buildings and structures.
"Agricultural Worker Housing" means includes residences, rooming and boarding houses and mess halls for farm workers employed 011 and near land owned by the owner of the building site on which the quarters are located.
"Automobile Service Stations and Gas Stations" means retail trade establishments primarily engaged in the sale of gasoline, which may also provide lubrication, oil change and tune-up services and the sale of automotive products incidental to gasoline sales. May also include accessory towing, mechanical repair services and trailer rental, but does not include storage of wrecked or abandoned vehicles, paint spraying body and fender work. Does not include the retail sale of gasoline as a subordinate service to food and beverage retail sales when limited to not more than two pumps.
"Building Materials and Hardware" means retail trade establishments primarily engaged in selling lumber and other building materials including paint, wallpaper, glass, hardware, nursery stock, lawn and garden supplies. Includes all such stores selling to the general public, even if contractor sales account for a larger proportion of total sales. Also includes incidental retail ready-mix concrete operations.
"Business Support Services" means service establishments primarily within buildings, providing other businesses with services including maintenance, repair and service, testing, rental, etc., also including: outdoor advertising services; mail advertising services (reproduction and shipping); blueprinting, photocopying, photofinishing, commercial art and design (production); film processing laboratories; services to structures such as window cleaning, exterminators, janitorial services; heavy equipment and business equipment repair services including welding repair and armature rewinding and repair (except vehicle repair); computer related services (rental, repair, and maintenance); research and development laboratories, including testing facilities; soils and materials testing laboratories; protective services (other than office related); equipment rental businesses that are entirely within buildings (not equipment rental yards), including leasing tools, machinery and other business items except vehicles; trading stamp services, and other business services of a "heavy service" nature.
"Caretaker Residence" means a permanent residence that is secondary or accessory to the primary use of the property. A caretaker dwelling is used for housing a caretaker employed on the site of any non-residential use where a caretaker is needed for security purposes or to provide twenty-four-hour care or monitoring of people, plants, animals, equipment, or other conditions on the site.
"Crop Production" means encompasses the following overall crop types and activities as indicated:
a.
"Specialty Crops" means strawberries, herb crops, flower seed and cut flower crops (open field), kiwi vines, edible pod peas, bushberry crops, Christmas trees and other outdoor ornamentals, intensive horticulture, sod farms, clover seed, hops, and wholesale nurseries (see separate definition).
b.
"Row Crops" means all vegetable truck crops except edible pod peas. Includes lima and snap beans.
c.
"Orchards" means all fruit and nut tree crops, does not include kiwi, berry, or other vine crops.
d.
"Field Crops" means beans other than snap or lima beans, barley, oats, safflower, wheat, grain and hay including alfalfa, silage and grain corn, sugar beets, melons, cotton.
e.
"Rangeland" means grazing of livestock on grasses without irrigation.
f.
"Pasture (irrigated)" means grazing of livestock on irrigated grasses.
g.
"Vineyards" means grapevines.
h.
"Preparation for Cultivation" means land-contouring, clearing, irrigation construction and other preparation of soil for crops.
i.
"Field Processing" means mechanical processing of crops in the field at harvest, when such activities do not involve a permanent structure. Such activities include but are not limited to hay baling and field-crushing of grapes.
"Financial Services" means service establishments primarily engaged in the field of finance, including: banks and trust companies; lending and thrift institutions, credit agencies; brokers and dealers in securities and commodity contracts; security and commodity exchanges; holding (but not predominately operating) companies; and other investment companies; vehicle finance (equity leasing agencies).
"Furniture, Home Furnishings and Equipment" means retail trade establishments primarily engaged in selling home furnishings such as furniture, floor coverings, draperies, glass and chinaware, domestic stoves, refrigerators, other household electrical and gas appliances including televisions and home sound systems and outdoor furniture such as lawn furniture, movable spas and hot tubs. Establishments selling electrical and gas appliances are included only if the major part of their sales consist of articles for home use. Also includes the retail sale of office furniture and large musical instruments.
"General Retail" means retail trade establishments including department stores, variety stores, drug and discount stores, general stores, etc., engaged in retail sales of many lilies of new and used merchandise, including: dry goods; apparel and accessories; small wares; sporting goods and equipment; bicycles and mopeds, musical instruments, arts and accessories. Also includes sales of miscellaneous shopping goods such as: books; stationery; jewelry; hobby materials, toys and games; cameras and photographic supplies; gifts; novelties and souvenirs; luggage and leather goods; fabrics and sewing supplies; florists and houseplant stores; cigar and newsstands; artists supplies; orthopedic supplies; religious goods handcrafted items (stores for which may include space for crafting operations when such area is subordinate to retail sales); and other miscellaneous retail shopping goods.
"Grocery Stores" means retail trade establishments primarily engaged in selling food for home preparation and consumption, as well as the retail sale of packaged alcoholic beverages for consumption off the premises, including wine tasting facilities which are not on the same site as the winery. Establishments (except for wine tasting facilities) may include no more than two gas pumps as an accessory use.
"Health Care Services" means service establishments primarily engaged in furnishing medical, mental health, surgical and other personal health services including: medical, dental and psychiatric offices (mental health-related services including various types of counseling practiced by licensed individuals other than medical doctors or psychiatrists, or unlicensed individuals, are included under offices); medical and dental laboratories; out-patient care facilities; chiropractic offices and allied health services. Associations or groups primarily engaged in providing medical or other health services to members are included. Also includes hospitals and similar establishments primarily engaged in providing diagnostic services, extensive medical treatment including surgical and other hospital services; such establishments have an organized medical staff, inpatient beds, and equipment and facilities to provide complete health care. Nursing homes and similar long-term personal care facilities are not included in this classification.
"Home Occupations" means the gainful employment of the occupant of a dwelling, with such employment activity being subordinate to the residential use of the property, and there is no display, no stock in trade, or no commodity sold on the premises, and no persons employed other than residents of the dwelling.
"Indoor Amusements and Recreation" means establishments providing indoor amusement or entertainment for a fee or admission charge, such as: arcades containing coin operate amusements and/or electronic games (five or more such games or coin-operated amusements in any establishment constitutes an arcade in compliance with this definition, four or less are not considered a land use separate from the primary use of the site); card rooms, billiard and pool halls; bowling alleys; ice skating and roller skating; dance halls, clubs and ballrooms which are principal uses rather than being subordinate to an eating or drinking place; gymnasiums, reducing salons, health and athletic clubs including indoor sauna, spa or hot tub facilities; tennis, handball, racquetball, indoor archery and shooting ranges and other indoor sports activities.
"Lodging - Bed and Breakfast Inns" means residential structures with one family in permanent residence where bedrooms without individual cooking facilities are rented for overnight lodging, where meals may be provided subject to applicable county health department regulations. Does not include "Homestays" and "Hotels and Motels," "Lodging - Hotels, Motels" means commercial transient lodging establishments including hotels, motor hotels, motels, tourist courts or cabins, primarily engaged in providing overnight or otherwise temporary lodging, with or without meals, for the general public. Includes the preceding lodging establishments where developed as planned developments, or condominiums. Also includes accessory guest facilities such as swimming pools, tennis courts, indoor athletic facilities, and accessory meeting and conference facilities, etc.
"Mail Order and Vending" means establishments primarily engaged in retail sale of products by catalog and mail order. Also includes vending machine distributorship and suppliers. Does not include product manufacturing, which is included under the applicable manufacturing use.
"Multi-Family Dwellings" means includes a building or a portion of a building used and/or designed as a residence for two or more families living independently of each other. Includes: duplexes, triplexes and apartments; attached ownership units such as condominiums, PUDs and townhouses; and rooming and boarding houses (a residential structure where rooms are rented for short or long-term lodging where at least one meal daily is shared in common dining facilities, with ten or fewer beds for rent).
"Nursery" means facility for propagation and/or sale of horticultural or ornamental plant materials and related products including:
a.
"Retail Nursery" means a nursery offering products to the general public, including plant materials, planter boxes, fertilizer, garden tools, and related items.
b.
"Wholesale Nursery" means a nursery that sells plant materials raised on the same site to other businesses.
c.
"Accessory Nursery" means a nursery that is developed as a subordinate use to a principal or main building.
d.
"Greenhouse" means a nursery facility for indoor propagation of plants, constructed with transparent panels, including lath houses.
"Nursery Specialties" means agricultural establishments primarily engaged in the production of ornamental plants and other nursery products, grown under cover or outdoors. Also includes establishments engaged in the sale of such products (e.g., wholesale and retail nurseries) and commercial scale greenhouses.
"Offices" means professional or government offices including: engineering, architectural and surveying services; real estate agencies; non-commercial educational, scientific and research organizations; accounting, auditing and bookkeeping services; writers and artists; advertising agencies; photography and commercial art studios; employment, stenographic, secretarial and word processing services; quick printing, copying and blueprinting services; reporting services; data processing and computer services; management, public relations and consulting services; detective agencies and similar professional services; attorneys; and counseling services (other than licensed psychiatrists which are included under "Health Care Services"); and government offices including agency and administrative office facilities, and local post offices when located in facilities developed by private parties for occupancy by the postal service or other operator (does not include bulk mailing distribution centers, which are included under "Vehicle and Freight Terminals"). Does not include medical offices (which are allowed under "Health Care Services") or offices that are incidental and accessory to another business or sales activity which is the principal use. Incidental offices are allowed in any land use category as part of an approved principal use.
"Offices, Temporary" means a mobilehome, recreational vehicle or modular unit used as: a temporary business or construction office during construction of permanent facilities on the same site or as an office on the site of a temporary offsite construction yard; a temporary on-site real estate office for a development project; or a temporary business office in advance of permanent facility construction.
"Outdoor Retail Sales" means temporary retail trade establishments including: farmer's markets; sidewalk sales; seasonal sales involving Christmas trees, fireworks, pumpkins or other seasonal items; semiannual sales of art or handcrafted items in conjunction with community festivals or art shows; and retail sales or various products from individual motor vehicles in temporary locations outside the public right-of-way, not including bakery, ice cream and similar vending vehicles that conduct all sales within the right-of-way and do not stop in any location except on customer demand. Does not include flea markets or swapmeets.
"Outdoor Sports and Recreation Facilities" means facilities for various outdoor sports and recreation, including: amusement, theme and kiddie parks; golf courses, golf driving ranges and miniature golf courses; skateboard parks and water slides; go-cart and miniature auto race tracks; recreation equipment rental (e.g. bicycles and roller skates equipment); health and athletic clubs with predominately outdoor facilities; tennis courts, swim and tennis clubs; play lots, playgrounds and athletic fields (non-professional); recreation and community centers.
"Personal Services" establishments primarily engaged in providing nonmedically related services generally involving the care of persons including beauty and barber shops; shoe repair shops; saunas and hot tubs; laundromats (self-service laundries); dry cleaning pick-up stores and small-scale dry cleaners without pick-up and delivery services; clothing rental; dating and escort services; funeral parlors and related facilities. These uses may also include accessory retail sales of products related to the services provided.
"Private Utility Facility" means onsite utilities including a wastewater facility and domestic water package plant to support the Dalidio Ranch water and wastewater demands.
"Repair Services - Consumer Products" means service establishments where repair of consumer products is the principal business activity, including: electrical repair shops; television and radio and other appliance repair; watch, clock and jewelry repair; re-upholstery and furniture repair. Does not include shoe repair (included under "Personal Services"). Does not include repair or services incidental and accessory to retail sales. Does not include businesses serving the repair needs of heavy equipment.
"Residential Accessory Uses" means includes any use that is customarily part of a residence and is clearly incidental and secondary to a residence and does not change the character of the residential use. Residential accessory uses include the storage of vehicles and other personal property, and accessory structures including swimming pools, workshops, studios, greenhouses, garages, and guesthouses (without cooking or kitchen facilities). Includes non-commercial TV and radio broadcasting and receiving antennas, including equipment for satellite broadcast reception.
"Restaurants" means establishments selling prepared foods and drinks for on-premise or off-premise consumption. Also includes drive-in and drive-through restaurants, lunch counters and refreshment stands selling prepared goods and drinks for immediate consumption. Restaurants, delis and lunch counters operated as subordinate service facilities within other establishments are not included here unless they are operated as leased departments by outside operators.
"Roadside Stands" means open structures for the retail sale of agricultural products (except hay, grain and feed sales-included under Farm Equipment and Supplies), located on the site or in the area of the property where the products being sold were grown. Does not include field sales or agricultural products, which is included under "Crop Production and Grazing."
"Single-family Dwelling" means a building designed for an/or occupied exclusively by one family. Also includes attached ownership units using common wall development or airspace condominium ownership, where a proposed site qualifies for planned development through designation by planning area standard or through compliance with any planned development or cluster division standards of this Title. Also includes factory-built housing.
"Storage, Accessory" means the indoor or outdoor storage of various materials on the same site as a principal building or land use which is other than storage, which supports the activities or conduct of the principal use.
"Temporary Construction Trailer Park" means a temporary recreational vehicle park provided by the developer of a major construction project to provide short-term construction employees the opportunity to use recreational vehicles for housing during project construction.
"Temporary Construction Yards" means a storage yard for construction supplies, materials or equipment, located on a site other than the construction site itself or immediately adjacent to it, for use only during the actual construction of a project.
"Temporary Events" means any use of a structure or land for an event for a limited period of time where the site is not to be permanently altered by grading or construction of accessory facilities. Events include but are not limited to art shows, rodeos, religious revivals, tent camps, outdoor festivals and concerts.
[Added by the 2006 Dalidio Ranch Initiative Measure; Amended 2014 Ord. 3256; 2020, Ord. 3409; 2020, Ord. 3417]
All streets intended for public dedication shall be constructed to County public road standards, and the owner of each portion of the Property on which they are located shall offer to dedicate them to the County pursuant to an offer that allows the County to accept the offer. Streets may be public or private, as determined by the County in deciding whether to accept any offer of dedication.
[Added by the 2006 Dalidio Ranch Initiative Measure; Amended 2014 Ord. 3256]
Figure 113-1: Attachment C Dalidio Ranch Initiative
Figure 113-2: Attachment D Dalidio Ranch Initiative
Attachment F - Dalidio Ranch Initiative
CONDITIONS OF APPROVAL
A.
Traffic Related Commitments.
1.
Overpass. Prior to issuance of the first Certificate of Occupancy for the Dalidio Ranch Project, the owner of the Property shall cause to be deposited the sum of four million dollars in an escrow maintained by Chicago Title Company. The amount of the deposit, combined with the dedication of lands described below, is the fail- share of the Dalidio Ranch Project for the Prado Road overpass of Highway 101 and associated on and offramps to 101.
(a)
The deposit shall be accompanied by irrevocable instructions to pay the deposit, plus accrued interest, to the State of California, Department of Transportation (Caltrans) when the following certifications al-e submitted to the escrowholder.
(i)
The first certificate that CalTrans may deliver to the escrowholder in order to withdraw the deposit shall be on Caltrans letterhead, addressed to the escrow holder with a copy to the County's Director of the Department of Public Works and Transportation, and signed by Caltrans' Director, Chief Deputy Director, or Director of Region 5 and shall include the following statement: "I certify that Caltrans is prepared to continue the design of the Prado Road overpass and ramps from and to Highway 101 in the County of San Luis Obispo. I certify that the amounts to be expended by Caltrans for this design work will be no less than $750,000.
(ii)
The second certificate that CalTrans may deliver to the escrowholder in order to withdraw the deposit shall be on Caltrans letterhead, addressed to the escrow holder with a copy to the County's Director of the Department of Public Works and Transportation, and signed by CalTrans Director, Chief Deputy Director, or Director of Region 5 and shall include the following statement: "I certify that Caltrans has awarded and entered into [a] contract(s) for construction of the Prado Road overpass and all or a portion of ramps from and to Highway 101 in the County of San Luis Obispo. I have been informed by the escrowholder that the current balance of the deposit is [insert here the amount] and I certify that the amounts to be paid by Caltrans under the terms of the awarded contract(s) are no less than that amount.
(iii)
If either certification is not delivered within ten years from the date that the deposit is delivered to the escrowholder, or if there are excess funds above that which is required for the authorized purposes, then the escrowholder shall pay the balance of the deposit remaining as of that date, plus accrued interest, to the County of San Luis Obispo. Any funds paid to the County shall be held in a segregated account and shall be withdrawn only for use for road, street and highway improvements within the area encompassed by the San Luis Obispo Area Plan that will directly improve traffic circulation in the immediate area of the Dalidio Ranch Project.
Figure 113-2: Attachment D Dalidio Ranch Initiative
(iv)
The instructions also shall contain additional provisions as required by the escrowholder to enable it to administer the escrow as set forth in this Attachment F and shall include directions to provide to Caltrans, from time to time, upon its request, the current balance of the deposit and accrued interest. A copy of the escrow instructions shall be mailed to Director, Region 5, Caltrans.
(b)
Prior to issuance of the first Certificate of Occupancy for the Dalidio Ranch Project, the owner of the Property shall cause to be delivered to the Cal Trans via the Director of Region 5 an irrevocable offer of dedication for an approximately 13 acre parcel located in the northwest portion of the Property to be used for an overpass crossing Highway 101, related on-ramps and off-ramps and uses incidental thereto generally as depicted on Attachment D.
2.
Calle Joaquin Extension. Prior to issuance of the first Certificate of Occupancy for the Dalidio Ranch Project, the owner of the Property shall cause to be deposited the sum of $150,000 in an escrow maintained by Chicago Title Company. The amount of the deposit is the fair share of the Dalidio Ranch Project for the extension of Calle Joaquin from the southern boundary of the Property to what is expected to be northern terminus of Calle Joaquin at the time the deposit will be made.
(a)
The deposit shall be accompanied by irrevocable instructions to pay the deposit, 1 3, plus accrued interest, to the City of San Luis Obispo (the City) when the following certification is submitted to the escrowholder.
(i)
The certificate that the City may deliver to the escrowholder in order to withdraw the deposit shall be on City letterhead, addressed to the escrowholder with a copy to the County's Director of the Department of Public Works and Transportation, and signed by the City Director of the Department of Public Works and shall include the following statement: "I certify that the City has acquired, or is under contract to acquire, a right of way between the southern boundary of the Dalidio Ranch Property and the northern terminus of Calle Joaquin and that it has awarded and entered into [a] contract(s) for construction of Calle Joaquin over this land. I have been informed by the escrowholder that the current balance of the deposit is [insert here the amount] and I certify that the amounts incurred by the City to acquire the property and to be expended under the awarded construction contract are no less than that amount.
(ii)
If the certificate is not delivered within one year from the date that the deposit is delivered to the escrowholder, or if there are excess funds above that which is required for the authorized purposes, then the escrowholder shall pay the balance of the deposit remaining as of that date, plus accrued interest, to the party who paid the deposit.
(iii)
The instructions also shall contain additional provisions as required by the escrowholder to enable it to administer the escrow as set forth in this Attachment F and shall include directions to provide to the City, from time to time, upon its request, the current balance of the deposit and accrued interest. A copy of the escrow instructions shall be mailed to the City's Director of Public Works.
(b)
Prior to issuance of the first Certificate of Occupancy for the Dalidio Ranch Project, the owner of the Property shall cause to be delivered to the City an irrevocable offer of dedication for that portion of Calle Joaquin constructed across the Dalidio Ranch Property generally as depicted on Attachment D.
3.
Calle Joaquin/Los Osos Valley Road Intersection. Prior to issuance of the first Certificate of Occupancy for the Dalidio Ranch Project, the owner of the Property shall cause to be deposited the sum of $250,000 in an escrow maintained by Chicago Title Company. The amount of the deposit, is the fair share of the Dalidio Ranch Project for improvements to the intersection of Calle Joaquin and Los Osos Valley Road, including additional turn lanes and related improvements to aid the flow of traffic through the intersection.
(a)
The deposit shall be accompanied by irrevocable instructions to pay the deposit, plus accrued interest, to the City when the following certification is submitted to the escrowholder.
(i)
The certificate that the City may deliver to the escrowholder in order to withdraw the deposit shall be on City letterhead, addressed to the escrowholder with a copy to the County's Director of the Department of Public Works and Transportation, and signed by the City Director of the Department of Public Works and shall include the following statement: "I certify that the City has awarded and entered into [a] contract(s) for construction of improvements to the intersection of Calle Joaquin and Los Osos Valley Road that are designed to aid the flow of traffic through the intersection. I have been informed by the escrowholder that the current balance of the deposit is [insert here the amount] and I certify that the amounts to be incurred by the City under the awarded construction contract are no less than that amount.
(ii)
If the certificate is not delivered within one year from the date that the deposit is delivered to the escrowholder, or if there are excess funds above what is required for the authorized purposes, then the escrowholder shall pay the balance of the deposit remaining as of that date, plus accrued interest, to the party who paid the deposit.
(iii)
The instructions also shall contain additional provisions as required by the escrowholder to enable it to administer the escrow as set forth in this Attachment F and shall include directions to provide to the City, from time to time, upon its request, the current balance of the deposit and accrued interest. A copy of the escrow instructions shall be mailed to the City's Director of Public Works.
4.
Madonna Road/Los Osos Valley Road Intersection. Prior to issuance of the first Certificate of Occupancy for the Dalidio Ranch Project, the owner of the Property shall cause to be deposited the sum of $20,000 in an escrow maintained by Chicago Title Company. The amount of the deposit is the fair share of the Dalidio Ranch Project for improvements to the intersection of Madonna Road and Los Osos Valley Road, including reconfiguration of traffic lanes and related improvements to aid the flow of traffic through the intersection.
(a)
The deposit shall be accompanied by irrevocable instructions to pay the deposit, plus accrued interest, to the City when the following certification is submitted to the escrowholder.
(i)
The certificate that the City may deliver to the escrowholder in order to withdraw the deposit shall be on City letterhead, addressed to the escrowholder with a copy to the County's Director of the Department of Public Works and Transportation, and signed by the City Director of the Department of Public Works and shall include the following statement: "I certify that the City has awarded and entered into [a] contract(s) for construction of improvements to the intersection of Madonna Road and Los Osos Valley Road that are designed to aid the flow of traffic through the intersection. I have been informed by the escrowholder that the current balance of the deposit is [insert here the amount] and I certify that the amounts to be incurred by the City under the awarded construction contract are no less than that amount.
(ii)
If the certificate is not delivered within one year from the date that the deposit is delivered to the escrowholder, or if there are excess funds above what is required for the authorized purposes, then the escrowholder shall pay the balance of the deposit remaining as of that date, plus accrued interest, to the party who paid the deposit.
(iii)
The instructions also shall contain additional provisions as required by the escrowholder to enable it to administer the escrow as set forth in this Attachment F and shall include directions to provide to the City, from time to time, upon its request, the current balance of the deposit and accrued interest. A copy of the escrow instructions shall be mailed to the City's Director of Public Works.
B.
Recreational, Agricultural and Conservation Commitments.
To ensure that development proceeds in an order that will maximize public benefits in early phases, development shall occur as follows:
1.
Sportsfields. Before issuance of the first Certificate of Occupancy of the Dalidio Ranch Property, construction shall have begun on the sports fields shown in Attachment D. Construction shall be completed one year thereafter,
2.
Agriculture Easement and Farmers Market. Before issuance of the first Certificate of Occupancy of the Dalidio Ranch Property, construction shall have commenced of the Farmers Market shown on Attachment D. Construction shall be completed one year thereafter. Also, the land to be used for organic agricultural uses as shown 011 Attachment D shall have a restrictive covenant place on it limiting the use of the property to agricultural purposes.
3.
Conservation Open Space Easement. Before issuance of the first Certificate of Occupancy of the Dalidio Ranch Property, an easement to the land to be used for conservation open space as shown on Attachment C shall have a covenant place on it limiting the use of the property to conservation purposes.
4.
Bob Jones Trail. Before issuance of the first Certificate of Occupancy of the Dalidio Ranch Property, construction shall have commenced on that portion of the Bob Jones Trail that will cross the Dalidio Ranch Property. Construction shall be completed one year thereafter.
5.
Conservation Viewing Areas. Before issuance of the first Certificate of Occupancy of the Dalidio Ranch Property, construction shall have commenced on a viewing area for Monarch Butterflies and related walkway and seating improvements. Construction shall be completed one year thereafter.
C.
Other Commitments.
1.
Design and construction of the buildings, roadway infrastructure and all subgrades shall be engineered to withstand the expected ground acceleration that may occur at this site. The design should take into consideration the soil type, potential for liquefaction, and the most current and applicable seismic attenuation methods that are available. All on-site structures shall comply with applicable provisions of the California Building Standards Code and any roadway infrastructure falling within the jurisdiction of the California Department of Transportation shall comply with its most recent seismic design standards.
2.
If feasible, retail stores included in the Dalidio Ranch, should not stack goods higher than 8 feet from the floor in any area where customers are present unless provisions are made to reduce the risk of goods falling during an earthquake of up to 7.5 magnitude.
3.
A geotechnical study shall be prepared for the project site prior to site development. This report shall include an analysis of the liquefaction potential of the underlying materials according to the most current liquefaction analysis procedures. ("Site Geotechnical Investigation"). If the site is confirmed to be in all area prone to seismically-induced liquefaction, appropriate techniques to minimize liquefaction potential shall be prescribed and implemented. All on-site structures, transportation infrastructure and subgrades shall comply with applicable methods of the Uniform Building Code and all transportation infrastructure falling within the jurisdiction of the California Department of Transportation shall comply with the most current California Department of Transportation design standards.
4.
Suitable measures to reduce liquefaction impacts should include one or more of the following techniques, as determined by a registered geotechnical engineer:
(a)
specialized design of foundations by a structural engineer,
(b)
removal or treatment of liquefiable soils to reduce the potential for liquefaction;
(c)
drainage to lower the groundwater table to below the level of liquefiable soil;
(d)
in-situ densification of soils or other alterations to the ground characteristics; or
(e)
other alterations to the ground characteristics.
5.
The Site Geotechnical Investigation shall include an evaluation of the potential for soil settlement beneath the project site.
6.
If the project site is identified to be in a high potential for settlement zone based on the Site Geotechnical Investigation, the building foundations, transportation infrastructure and subgrades shall be designed by a structural engineer to withstand the existing conditions, or the site shall be graded in such a manner as to address the condition.
Suitable measures to reduce settlement impacts should include one or more of the following techniques, as determined by a qualified geotechnical engineer:
(a)
excavation and recompaction of on-site or imported soils
(b)
treatment of existing soils by mixing a chemical grout into the soils prior to recompaction; or
(c)
foundation design that call accommodate certain amounts of differential settlement such as post tensional slab and/or ribbed foundations designed in accordance with Chapter 18, Division 11 1 of the Uniform Building Code (UBC).
7.
The Site Geotechnical Investigation shall include an evaluation of the potential for soil expansion beneath the project site.
8.
If the project site is identified to be in a high expansive soil zone based on the Site Geotechnical Investigation, the foundations and transportation infrastructure shall be designed by a structural engineer to withstand the existing conditions, or the site shall be graded in such a manner as to address the condition.
9.
Suitable measures to reduce impacts from expansive soils could include one or more of the following techniques, as determined by a qualified geotechnical engineer:
(a)
excavation of existing soils and importation of non-expansive soils; and
(b)
foundation design to accommodate certain amounts of differential expansion such as post tensional slab and/or ribbed foundations designed in accordance with Chapter 18, Division 1 11 of the UBC.
10.
The Site Geotechnical Investigation shall include soil parameter analyses to determine the potential for subsidence at the project site. If the potential for subsidence is found to be significant, then structural and grading engineering measures shall be implemented to incorporate the results of the geotechnical study. These measures would be similar to those recommended to mitigate impacts to soil settlement.
11.
During future droughts, groundwater pumping limitations for the unconsolidated aquifer underlying the project site shall be assessed and implemented to prevent soil subsidence.
12.
Prior to grading activities, a soil and groundwater assessment shall be completed by a registered soils engineer or remediation specialist to determine the on-site presence or absence of regulated contaminants that may have migrated from off-site properties, or that occur on off-site properties that would be acquired for proposed improvements. This assessment shall target agricultural chemicals throughout the historically farmed portions of the site, TPH contamination associated with off-site LUST sites along Madonna Road north of the Dalidio property boundary, and on-site PCE associated with off-site dry cleaning operations. If soil or groundwater sampling indicates the presence of any contaminant in hazardous quantities, the Regional Water Quality Control Board (RWQCB) and Department of Toxic Substances Control (DTSC) shall be contacted by the project applicant or authorized agent thereof to determine the level of any necessary remediation efforts, and these soils and/or groundwater shall be remediated in compliance with applicable laws. Site assessments that result in the need for soil excavation are required to include: an assessment of air impacts and health impacts associated with excavation activities; identification of any applicable local standards that may be exceeded by the excavation activities, including dust levels and noise; transportation impacts from the removal or remedial activities; and risk of upset practices should an accident occur at the site. An informational copy of applicable remediation certification from RWQCB and/or DTSC, or of a written confirmation that a certification is not required shall be submitted to the applicable the Department of Planning and Building.
13.
In the event that hazardous waste and/or materials posing the likelihood of a substantial and imminent threat to health and safety, including chemical odors or stained soils, are encountered during construction, then all lawfully required and appropriate measures shall he implemented as required by the California Department of Toxic Substances Control.
14.
In the event that groundwater is encountered during construction, all construction work in the vicinity of the groundwater will be halted. RWQCB shall be contacted to determine appropriate remediation actions. This could involve testing groundwater for TPH and PCE, and treatment of affected groundwater to a concentration below RWQCB standards, by a registered environmental assessor or environmental engineer in consultation with RWQCB before the water can be released into the watershed, and/or other remediation actions required by RWQCB.
15.
Prior to issuance of each Building Permit, a soils engineering study of the site for the construction to be authorized by the Permit, and hazardous materials screening analysis of all imported fill materials shall be prepared by a qualified professional. The study and the analysis shall demonstrate that all imported fill materials maintain engineering properties that are suitable for site development, and are free from contaminants that exceed threshold health and public safety levels.
16.
Reduce Impervious Surfaces. Parking lots and paved outdoor storage areas shall, where feasible and economic, use pervious paving to reduce surface water runoff and aid in groundwater recharge. The applicant shall implement landscape swales as feasible, economic and appropriate to allow for increased percolation of water on the project site.
17.
Notice of Intent. Prior to beginning construction, and as required by law, the applicant shall file a Notice of Intent (NOI) with the RWQCB for discharge from the proposed development site.
18.
Storm Water Pollution Prevention Plan ("SWPPP"). The applicant shall prepare and submit a SWPPP in compliance with the requirements of the State Water Resources Control Board. The applicant's contractor is responsible for understanding the State General Permit and instituting the SWPPP during construction. A SWPPP for site construction shall be developed prior to the initiation of grading and implemented for all construction activity on the project site in excess of one acre. The SWPPP shall include specific Best Management Practices ("BMPs") to control the discharge of material from the site. BMP methods may include, but would not be limited to, the use of temporary detention basins, straw bales, sand bagging, mulching, erosion control blankets, silt fencing, and soil stabilizers. Additional BMPs should be implemented for any fuel storage or fuel handling that could occur on site during construction.
19.
Notice of Completion of Construction. The applicant shall file a notice of completion of construction of the development identifying that pollution sources were controlled during the construction of the project, and implementing a closure SWPPP for the site.
20.
Storm Water Quality Basins. Best Management Practices shall be utilized to intercept water flowing off of proposed parking lot and roadway surfaces for each subbasin of the Dalidio property. Whenever feasible, the preferred approach to treating surface runoff will be the use of drainage swales rather than mechanical devices. The chosen method for treating runoff shall be a proven and documented pollution prevention technology device that removes oil and sediment from stormwater runoff, and retains the contaminants for safe and easy removal. The chosen device shall possess design features to prevent resuspension of previously collected contaminants and materials, and contain a built-in diversion structure to divert intense runoff events and prevent scouring of the previously collected sediments. The filter devices shall be sized to capture all dry weather surface runoff and accommodate the first flush (one inch) during storm events.
21.
Stormwater BMP Maintenance Plan. The stormwater BMP devices shall be inspected, cleaned and initiated in accordance with the manufacturer's maintenance specifications by the person or entity that has possession of the lands on which the devices are located. The devices shall be cleaned prior to the onset of the rainy season (i.e. November 1st) and immediately after the end of the rainy season (i.e. May 1st). All devices will be checked after major storm events.
22.
NPDES Permit. If required separate and apart from the requirement of a State General Permit, the applicant shall procure a National Pollution Discharge Elimination System permit that adheres with all requirements of the Federal Clean Water Act. Additionally, certain occupants of the General Retail component may require individual NPDES permits due to the processes or materials they use.
23.
The applicant shall implement the following Best Available Control Technology for diesel-fueled construction equipment, where feasible:
(a)
Maintain all construction equipment in proper tune according to manufacturer's specifications;
(b)
Fuel all off-road and portable diesel powered equipment, including but not limited to bulldozers, graders, cranes, loaders, scrapers, backhoes, generator sets, compressors, auxiliary power units, with Air Resources Board ("ARB") certified motor vehicle diesel fuel (non-taxed version suitable for use off-road);
(c)
Maximize to the extent feasible, the use of diesel construction equipment meeting the ARB'S 1 996 01- newer certification standard for off road heavy-duty diesel engines;
(d)
If feasible, install diesel oxidation catalysts (DOC), catalyzed diesel particulate filters (CDPF) or other District approval emission reduction retrofit devices (the number of catalysts or filters required and the equipment oil which they should be installed shall be determined in consultation with the San Luis Air Pollution Control District ("APCD");
(e)
Electrify equipment where feasible;
(f)
Develop and implement a Diesel Emission Control Plan that describes the diesel emission controls to he used during construction and specifies the use of DOCS and CDPFs, in consultation with APCD prior to the start of construction;
(g)
Substitute gasoline powered for diesel powered equipment, where feasible;
(h)
Use alternatively fueled construction equipment on-site where feasible, such as compressed natural gas, liquefied natural gas, propane, or biodiesel; and
(i)
If feasible based on local availability, use equipment that has Caterpillar pre-chamber diesel engines;
24.
The applicant shall design a comprehensive construction activity management plan designed to minimize the amount of large construction vehicles operating during any given time period.
25.
Construction truck trips shall be scheduled, to the extent feasible, to occur during non-peak hours.
26.
The amount of disturbed area shall be minimized and on-site vehicle speeds shall be reduced to 15 mph or less.
27.
Water trucks or sprinkler systems shall be used in sufficient quantities during construction to prevent airborne dust from leaving the site. Increased watering frequency would be required whenever wind speeds exceed 15 mph. Reclaimed (nonpotable) water should be used, if available.
28.
If stockpiling of fill material is involved, soil that is stockpiled for more than two days shall be covered, kept moist, or treated with soil binders daily to prevent dust generation.
29.
Vehicle speed for all construction vehicles shall not exceed 15 mph on any unpaved surface at the construction site.
30.
All trucks hauling dirt, sand, soil, or other loose materials are to be covered or should maintain at least two feet of freeboard (minimum vertical distance between top of load and top of trailer).
31.
Install wheel washers where vehicles enter and exit unpaved roads onto streets, or wash off trucks and equipment leaving the site.
32.
Sweep streets as needed if visible soil material is carried onto adjacent paved roads. If feasible based on local availability, water sweepers with reclaimed water should be used.
33.
Exposed ground areas that are planned to be reworked at dates greater than one month after initial grading shall be sown with a fast germinating native grass seed and watered until vegetation is established.
34.
Conditions 23 - 33 shall be included on all Grading and Construction Plan notes, as well as on all bid requests. A contact name and phone number at the San Luis Obispo APCD shall also be provided on these documents so that contractors may consult with APCD staff on the type of construction equipment and emissions controls to be used.
35.
The project contractor/builder shall designate a person or person to monitor the dust control program and to order increased watering, as necessary, to prevent transport of dust off site. Their duties shall include holidays and weekend periods when work may not be in progress. The name and telephone number of such persons shall be provided to the APCD.
36.
A geological analysis shall be conducted prior to construction to determine the presence of serpentine rock. If naturally occurring asbestos is found on the project site, the applicant shall prepare an Asbestos Dust Control Plan and an Asbestos Health and Safety Program, which shall be approved by the APCD prior to commencement of construction activities.
37.
Prior to demolition work, areas of the onsite structures shall be sampled as part of an asbestos survey in compliance with the National Emission Standards for Hazardous Air Pollutants. If asbestos is found in any building, asbestos-related work, including demolition, involving 100 square feet or more of asbestos containing materials (ACMs) shall be performed by a licensed asbestos abatement contractors under the supervision of a certified asbestos consultant and asbestos shall be removed and disposed of in compliance with applicable State laws.
38.
If during demolition of an on-site building, paint is separated from the building material (e.g. chemically or physically), the paint waste will be evaluated independently from the building material by a qualified hazardous materials inspector to determine its proper management. All hazardous materials shall be handled and disposed in accordance with local, state and federal regulations. According to the DTSC, if paint is not removed from the building material during demolition (and is not chipping or peeling), the material call be disposed of as construction debris (a non-hazardous waste). The landfill operator will be contacted prior to disposal of building material debris to determine any specific requirements the landfill may have regarding the disposal of lead-based paint materials. The disposal of demolition debris shall comply with any such requirements.
39.
Increase building energy efficiency ratings by at least 10% above what is required by Title 24 requirements. Potential energy consumption reduction measures include, but are not limited to, increasing attic, wall, or floor insulation, the use of photovoltaic roof tiles, installation of energy efficient windows, installation of energy efficient interior lighting, use of high efficiency heating and cooling, use roofing material with a solar reference value that meets the EPA/DOE Energy Star rating installation of low energy parking lot lights, and the use of R-45 insulation in the roof/attic space of all on-site structures.
40.
Shade trees shall be planted to shade onsite structures to the greatest extent possible in summer, decreasing indoor temperatures, and reducing energy demand for air conditioning. Shade trees shall also be planted throughout the parking lots to reduce evaporative emissions from parked vehicles. The landscape plan shall be submitted to the APCD for review and comment.
41.
The applicant shall make a one-time financial contribution to the APCD to be used for one or more of the following mitigation measures: The amount of the contribution shall be reasonably related to impacts arising from the Dalidio Ranch Project as determined by the County but in no event in excess of $10,000.
(a)
Financial contribution and/or an agreement between the applicant and APCD to provide a park-and-ride lot that could serve the project area.
(b)
Financial contribution to a bus pass subsidy program as a means of reducing vehicle trips elsewhere in the community;
(c)
Financial contribution to a vehicle-purchase/pollution offset program designed to remove vehicle that do not meet state emission requirements from area roadways;
(d)
Financial contribution to a bus retrofit program designed to convert area buses to operation by natural gas;
(e)
Financial contribution to a bus purchase program designed to increase availability of alternative transportation modes to area residents;
(f)
Financial contribution to a low-emission vehicle purchase subsidy program; and
(g)
Participate in the Flash Pass Program established by APCD and SLO Transit for all employers of the project.
42.
The applicant shall develop and operate all employer-based Transportation Management Program per Clean Air Plan TCM T-1 C, which incorporates the following provisions:
(a)
Bicycle racks and/or bicycle locaters at a ratio based on demand and consistent with development approvals on the central coast and acceptable to the APCD to be determined prior to occupancy clearance; and
(b)
Carpool, vanpool and transit information shall be posted in employee break/lunch areas.
43.
To reduce overall project trip generation and associated air contaminant emissions, project tenants will be encouraged to establish and maintain employee trip reduction programs that will include, but are not limited to, the following elements:
(a)
Free or subsidized employee passes for SLO Transit;
(b)
Vanpool services provided by Ride-On Transit;
(c)
Cash incentives for using alternative travel modes;
(d)
On-site rideshare matching services;
(e)
On-site shower facilities for bicycle users;
(f)
Encourage Guaranteed Ride Home services for employees who use alternative transportation;
(g)
A minimum of 25 parking spaces to be shared use as a public Park and Ride lot;
(h)
Posted information on alternative travel modes; and
(i)
Preferential parking for employee carpools/vanpools (where feasible)
44.
The applicant shall prepare a Pedestrian Circulation Plan. The plan shall include methods to improve safe pedestrian circulation patterns within the commercial portion of the project, and between the commercial portion of the project and other nearby commercial uses, as well as other adjacent land uses.
45.
Prior to the initiation of demolition work, areas of the on-site structures proposed for removal shall be sampled as part of an asbestos survey in compliance with the National Emission Standards for Hazardous Air Pollutants. If asbestos is found in any building, asbestos related work, including demolition, involving 100 square feet or more of asbestos containing materials (ACMs) shall be performed by a licensed asbestos abatement contractor under the supervision of a certified asbestos consultant and asbestos shall be removed and disposed of in compliance with applicable State laws. Regardless of whether asbestos is identified in the building, prior to demolition of the existing structure the APCD shall be notified and an APCD Asbestos Demolition and Renovation Compliance Checklist shall be submitted to the APCD.
46.
'The disposal of demolition debris shall comply with all Department of Toxic Substances Control (DTSC) requirements for hazardous and non-hazardous wastes.
47.
Stationary construction equipment that generates noise that exceeds 65 dBA at the project boundaries shall be shielded with a barrier that meets a sound transmission class rating of 25.
48.
All diesel equipment shall be operated with closed engine doors and shall be equipped with factory-recommended mufflers.
49.
If available, electrical power shall be used to run air compressors and similar power tools.
50.
Construction activity for site preparation and for future development shall be limited to the hours between 7:00 AM and 7:00 PM, Monday through Friday and Saturday 8:00 AM to 6:00 PM. No construction shall occur on Sundays or State holidays (e.g., Thanksgiving, Labor Day). Construction equipment maintenance shall be limited to the same hours.
51.
For all construction activity on the project site, additional noise attenuation techniques shall be employed as needed to ensure that noise remains within levels allowed by the County of San Luis Obispo. Such techniques may include, but are not limited to, the use of sound blankets on noise generating equipment and the construction of temporary sound barriers between construction sites and affected uses.
52.
The movement of construction-related vehicles, with the exception of passenger vehicles, along roadways adjacent to sensitive receptors shall be limited to the hours between 7:00 AM and 7:00 PM, Monday through Friday and Saturday 8:00 AM to 6:00 PM. No movement of heavy equipment shall occur on Sundays or State holidays (e.g., Thanksgiving, Labor Day). This measure does not apply to roadways where sound walls are currently in place.
53.
Prior to development of fallow agricultural fields, surveys for Congdon's tarplant shall be performed during the blooming period of this aster (June- November). If the species is found, avoidance is the preferred option. If avoidance is not feasible, on-site mitigation is preferred if suitable habitat is present. A restoration plan shall be prepared by a qualified plant ecologist. The restoration plan shall identify the number of plants to be replanted and the methods that will be used to preserve this species in this location. The plan shall also include a monitoring program so that the success of the effort can be measured. If off-site mitigation must be performed Laguna Lake Park may contain appropriate habitat and would be a preferred site. Restoration efforts shall be coordinated with applicable federal, state, and local agencies.
54.
All proposed site disturbance shall provide a protective buffer of at least 50 feet including existing eucalyptus trees from previously unidentified great blue heron active nest sites. No development shall occur within 200 feet of previously unidentified nests located adjacent to Perfumo Creek. The perimeter of the setback area for these nests shall include a buffer and signage regarding the sensitivity of the great blue heron rookery. The buffer shall be of split rail fencing to discourage random human entry but to allow the passage of wildlife. No structural development shall occur within 50 feet of the eucalyptus trees in the vicinity of Perfumo Creek, including all great blue heron roosting sites. Eucalyptus or nesting trees within the nesting area shall not be removed unless they are a threat to human health or safety.
55.
Prior to construction during the migratory bird/heron/raptor nesting season that occurs generally between February to September, a survey for active nests shall be conducted by a qualified biologist at the site no more than two weeks prior to any scheduled development in the vicinity of the active nests. If active nests are located, construction within 500 feet of Migratory Bird Treaty Act-bird, heron, or raptor nest trees (e.g., stands of Monterey pines, cypress, and eucalyptus, and the riparian corridors along San Luis Obispo Creek and Perfumo Creek) shall be limited to the time period after young have fledged and prior to next season's breeding. A qualified biologist shall confirm that breeding/nesting is completed and young have fledged the nest prior to the start of construction. Nest trees shall only be removed outside the nesting season, or after a qualified wildlife biologist verifies that the nest is empty and the nest tree is no longer used by a raptor.
56.
During both the wintering and nesting seasons (unless the species is detected on the first survey), a qualified biologist shall conduct surveys for burrowing owls in potential habitat areas prior to construction in accordance with the guidelines described in the CDFG Staff Report on Burrowing Owl Mitigation, 1995. Winter surveys shall be conducted between December 1 and January 31, and the nesting season survey shall be conducted between April 15 and July 15. If burrowing owls are detected within the proposed disturbance area, CDFG shall be contacted immediately to develop and implement a mitigation plan to relocate owls and their nest sites.
57.
The setback around Monarch butterfly wintering site habitat shall be 50 feet from the perimeter of the habitat as defined by surveys undertaken by qualified biologists in February 2006.
58.
Eucalyptus trees within the stand along Perfumo Creek determined to be a risk to public health and safety, and therefore removed for project development shall be replaced at a ratio of at least 1:1 and of a height to shield on-site Monarch butterfly wintering sites and sensitive avian nesting habitat. Evergreen replacement trees shall be selected that reach a height capable of forming a suitable windbreak, as determined by a qualified biologist.
59.
Any open space areas along Perfumo Creek shall preserve the habitat and allow only those passive recreational uses (e.g. wooden boardwalk and viewing platform at least 50 feet from Monarch butterfly trees) that will not substantially disturb sensitive wildlife species.
60.
Prior to issuance of building permits, the applicant shall prepare a detailed lighting plan to ensure the size and brightness of fixtures is minimized and that lights are hooded and directed toward the ground.
61.
If riparian vegetation is removed for construction of project improvements it shall be replaced with locally occurring native species according to a restoration plan prepared by a qualified plant ecologist. Construction within any riparian habitat shall not be conducted until all required federal, state and local permitting is approved and issued by those agencies with jurisdiction, (e.g. USACE, CDFG, NMFS, and USFWS). Best Management Practices shall be employed to reduce impacts to water quality.
62.
Prior to approval of building permits for any improvements in the vicinity of the Perfumo Creek eucalyptus grove and Madonna Road eucalyptus stand a qualified biologist shall survey the eucalyptus grove on the Dalidio Property. The purpose of the survey shall be to identify trees whose health status would pose a risk to the health and safety of residents, employees, or people present within the development or open space areas. Based on the results of this survey a tree-thinning program shall be created, which provides for the thinning or maintenance of the unhealthily trees that are not to be removed. No thinning activities shall occur that conflict with the previous or following mitigation measures in this document regarding time constraints on construction activities and/or sensitive species utilizing these trees.
63.
Building permit application plans shall include the following information:
(a)
The locations of all existing trees, noting location, species, diameter, and condition;
(b)
Note whether existing trees will be retained, removed, or relocated; and
(c)
The location of proposed utilities, driveways, street tree locations, and the size and species of proposed street trees.
(d)
A landscaping plan which shows the size and species of all trees proposed to be planted in the project.
64.
Landscape plans submitted for building permit approval shall include provisions for any relevant construction setbacks from trees; construction fencing around trees; grading limits around the base of trees as required; and a Replacement Plan for trees removed including replacement at a minimum 1:1 ratio.
65.
Proposed site disturbances shall be set back at least 35 feet from Perfumo Creek and 20 feet from the drainage channel on the Dalidio property as measured from the top of bank or from the edge of the predominant pattern of riparian vegetation, whichever is farther from the creek's flowline.
66.
The location of top of bank and of riparian vegetation shall be shown on all project plans.
67.
If wetlands and/or riparian habitat are subject to permitting or consultation with public agencies, such as USFWS, CDFG, or NMFS, required setbacks or conditions regarding wetlands and riparian habitat shall be observed.
68.
If wetlands and/or riparian habitat are removed for project development, the following shall apply:
The applicant shall submit a Mitigation Plan for areas of disturbance to wetlands and/or riparian habitat. The plan shall be designed by a biologist familiar with restoration and mitigation techniques. Restoration and mitigation shall be with locally occurring native species at a ratio of 1:1 for riparian habitat and 2:1 for delineated wetland habitat. The plan shall include, but not be limited to the following components:
(a)
Performance criteria (i.e.: what is an acceptable success level of revegetation to mitigate past impacts);
(b)
Monitoring effort (who is to check on the success of the revegetation plan, how frequently);
(c)
Contingency planning (if the effort fails to reach the performance criteria, what remediation steps need to be taken);
(d)
Irrigation method/schedule for wetland elements (how much water is needed where and for how long); and
(e)
Provisions for the removal of non-native invasive species (including details regarding the type and use of herbicides in and near aquatic habitat and sensitive species).
69.
Access for agricultural equipment shall be provided to any undeveloped agricultural lands. Curbing shall be designed or cut to provide wide "driveway - like" access to the cropland for all farm equipment.
70.
Irrigation water sources and infrastructure shall be provided to any undeveloped lands used for agriculture purposes.
71.
Reasonable buffers between urban and agricultural uses that do not interfere with the proposed development shall be incorporated into the design of the Dalidio Ranch, and other urban uses on the Dalidio property. Agricultural buffers can include non-habitable structures, roadways, parking, landscaped areas, and non-habitable buildings. The site plan depicted in Attachment D incorporates reasonable buffers as intended by this section.
72.
Foreground Views of Madonna Road. As thinning of the eucalyptus groves occurs, for every tree removed the applicant shall replace the tree on a 1:1. As feasible, the replacement trees shall be placed in an area where they will continue to screen the proposed development from existing views.
73.
Foreground Views from U.S. Highway 101. At the time of occupancy, planted landscaping shall assist to screen views of structures in a reasonable manner. All failed species shall be replaced within one month. Screening ratio and landscape vegetation health shall be achieved under the supervision of a qualified arborist.
74.
The applicant shall design buildings to conceal rooftop equipment. The plans shall depict precise cross-sections and sightline indicators to assure that the rooftop equipment will not be visible from surrounding locations.
75.
Areas within commercial development for outdoor storage, truck parking, trash collection, or loading shall not be visible from abutting streets. Such facilities shall be thematically incorporated into the overall site design, and non-enclosed areas shall be permanently defined and screened with walls and/or fences. Materials, colors and design of screening walls shall conform to those used as predominant materials and colors on the buildings.
76.
All lighting fixtures in customer parking and rear loading areas that are visible from surrounding residences shall be designed to fully contain glare on-site. All lighting poles shall be hooded, shielded, and located to direct light pools downward and prevent glare on the nearby residential lots. Non-glare lighting shall be used throughout the proposed project. Search lights and strobe lights shall be prohibited.
77.
All windows shall be of low-glare specification. Paint used for exterior facades shall be of low-reflectivity. Metal surfaces shall be blush-polished, and not highly reflective.
78.
Building and parking lots designs shall minimize automobile and parking lot lights from spilling over the existing exterior property lines. This may include, but is not limited to, the use of mature trees throughout the site. It should be noted that mature trees often grow more slowly than smaller more vigorous trees, and that the younger trees often overtake the larger trees within a matter of years. Therefore, it is recommended that a mix of mature and immature trees be planted as part of the buffering methods.
79.
Exterior wall surfaces that face public viewing corridors, such as U.S. Highway 101, Los Osos Valley Road, and Madonna Road, shall consist of materials and colors that will not produce any greater glare than that produced by comparable surrounding structures.
80.
The applicant shall use reclaimed wastewater generated from the wastewater treatment facility for on-site landscaping to the extent reclaimed wastewater is available and is feasible. During periods where demand exceeds reclaimed water supplies, on-site water wells shall provide supplemental irrigation water.
81.
A Utility Relocation Plan shall be prepared by the applicant. The Utility Relocation Plan shall identify all existing and proposed water lines, sewer lines, telephone, cable, gas, electric or other services located on the project site. The applicant shall coordinate with any affected agencies as part of the design process. The Utility Relocation Plan shall specify the phasing and scheduling of utility relocations to ensure minimal disruption between removal/relocation of existing utility lines and the installation of new lines.
82.
During construction underground utility alert services shall be used to identify the location of all underground services and to avoid the unplanned disruption of pipes or service lines.
83.
A construction period public outreach and communications plan and program shall be developed by the applicant for all phases of the project. Periodic assessments of upcoming utility and service disruptions shall be undertaken by the applicant or authorized agents thereof. These assessments and an identification of the affected service areas shall be coordinated with the public outreach program. The public outreach program shall ensure that advance notice for any utility or service disruption is extended to affected businesses and residents.
84.
Construction Solid Waste Minimization. During the construction phases of the project, the following mitigation measures will be implemented to reduce solid waste generation to the maximum extent feasible:
(a)
Prior to construction, the contractor will arrange for construction recycling service with a waste collection provider. Roll-off bins for the collection of recoverable construction materials will be located onsite. The applicant, or authorized agent thereof, shall arrange for pickup of recycled materials with a waste collection provider or shall transport recycled materials to the appropriate service center. Wood, concrete, drywall, metal, cardboard, asphalt, soil, and land clearing debris may all be recycled.
(b)
The contractor will designate a person to monitor recycling efforts and to collect receipts for roll-off bins and/or construction waste recycling. All subcontractors will be informed of the recycling plan, including which materials are to be source-separated and placed in proper bins.
(c)
The contractor will use recycled materials in construction wherever feasible.
The above construction waste recycling measures will be incorporated into the construction specifications for the contractor.
85.
The project applicant or authorized agent thereof shall provide tenants with educational material regarding appropriate waste management efforts upon occupancy and transfer of ownership. The design of the proposed buildings and facilities shall include provision of adequate space and capacity for recycling containers.
86.
The Dalidio Ranch house, barn and race track shall be subject to historic documentation by a qualified historian prior to their relocation. The structures shall be photographed and recorded consistent with professional historical standards. Associated farmhouse complex structures including the water tower, garage, large equipment storage building, small shed/bunkhouse and bungalow shall also be photo documented to provide a record of the Dalidio Ranch complex. A copy of the historic farmhouse documentation shall be provided to the San Luis Obispo Historical Society.
87.
A qualified historic architect with experience in relocation of historic structures shall be consulted during plans for relocation of the Dalidio Ranch house, barn, and race track to ensure that significant historic materials and fabric are retained and reconstructed appropriately.
88.
Areas adjacent to the U.S. Highway 101 frontage, including the proposed extension of Calle Joaquin and Fanner's Market, shall be surveyed by a qualified historic archaeologist. If any potentially significant remains are identified they shall be recorded consistent with state historical standards.
89.
At the commencement of project construction, all workers associated with earth disturbing procedures shall be given an orientation regarding the possibility of exposing unexpected cultural remains by an archaeologist and directed as to what steps are to be taken if such a find is encountered.
90.
In the event that archaeological and historic artifacts are encountered during project construction, all work in the vicinity of the find will be halted until such time as the find is evaluated by a qualified archaeologist and appropriate mitigation (e.g., curation, preservation in place, etc.), if necessary, is implemented. After the find has been appropriately mitigated, work in the area may resume.
In the event of the accidental discovery or recognition of any human remains in any location other than a dedicated cemetery, the following steps will be taken:
(a)
There shall be no further excavation or disturbance of the site or any nearby area reasonably suspected to overlie adjacent human remains until:
(i)
The coroner of the county in which the remains are discovered must be contacted to determine that no investigation of the cause of death is required, and
(ii)
If the coroner determines the remains to be Native American:
(A)
The coroner has 24 hours to notify the Native American Heritage Commission.
(B)
The Native American Heritage Commission shall identify the person or persons it believes to be most likely descended from the deceased Native American.
(C)
The most likely descendent may make recommendations to the landowner or the person responsible for the excavation work, for means of treating or disposing of, with appropriate dignity, the human remains and any associated grave goods as provided in Public Resources Code Section 5097.98.
(b)
The landowner or his authorized representatives shall relocate the Native American human remains and associated grave items with appropriate dignity on the property in a location not subject to further subsurface disturbance. Prior to relocation the landowner shall consult with a suitable representative. To do so; the Native American Heritage Commission shall be requested to identify a most likely descendant. If the Commission is unable to identify a most likely descendent or the most likely descendant fails to make a recommendation within 24 hours after being notified by the Commission then a Chumash representative shall be consulted. If the landowner or his authorized representative rejects the recommendation of the descendent representative, and the mediation by the Native American Heritage Commission fails to provide measures acceptable to the landowner, then the landowner may relocate the remains in its discretion.
If human remains are unearthed, State Health and Safety Code Section 7050.5 requires that no further disturbance of the site or any nearby area reasonably suspected to overlie adjacent human remains shall occur until the County Coroner has made the necessary findings as to origin and disposition pursuant to Public Resources Code Section 5097.98. If the remains are determined to be of Native American descent, the coroner has 24 hours to notify the Native American Heritage Commission.
91.
Pedestrian Access to Commercial Center. All commercial buildings that abut a public street should have an entrance onto the street or provide a continuous sidewalk from the street to the main entrance of the building. The project shall provide explicit and clear pedestrian connection from its commercial retail component to the commercial retail development immediately north with safe and visually prominent street crossings.
92.
Avigation easements, which provide important disclosure information to prospective buyers and lessees, shall be required. Easements shall be in the generally applicable form approved by the County of San Luis Obispo, if any, (per Part 150, Airport Compatibility Planning, of the Federal Aviation Regulations) which stipulates that commercial and office property on the site would be exposed to aircraft noise, and provides legal protection to the airport, City and County against noise lawsuits. These easements hall also grant the airport the right to maintain the safety of airspace, including the right to clear ally obstructions into that airspace.
93.
In accordance with state law, the seller or lessor of property within the project site shall disclose to potential buyers or lessees that aircraft overflights occur, and that such flights may result in periodic increases in noise levels within the area.
94.
Buildings within the project area shall incorporate non-reflective roofing material and roof-mounted equipment in order to minimize glare impacts to passing aircraft.
[Article amended 2014 Ord. 3256 - modified from Article 9.5 to Article 11 - no text changes; 2014, Ord. 3282]
DALIDIO RANCH
This chapter provides standards and regulations for development within the Dalidio Ranch zoning district. This chapter was enacted by initiative. Notwithstanding any other provision of the County Code, and to ensure that development of the Dalidio Ranch Project is subject to express, objective standards that cannot be changed through subsequent discretionary actions or interpretations, the Dalidio Ranch zoning district shall be and is deemed a new zoning district that exists independent of other zoning requirements, including the balance of Title 22. Land subject to the Dalidio Ranch zoning district shall not be subject to any provision of San Luis Obispo County Code that purports to regulate or guide land use or development, except those contained in this Chapter 22.113.
[Added by the 2006 Dalidio Ranch Initiative Measure]
No development shall occur within the Dalidio Ranch zoning district unless it is consistent with the Dalidio Ranch land use category of the General Plan and this Chapter 22.113. If an application is presented for development that is consistent with the Dalidio Ranch land use category, this Chapter 22.113, and grading and building standards of Title 19 of the County Code that are applicable to all development in San Luis Obispo County, then the application shall be ministerially granted. Certificates of occupancy shall also issue ministerially provided only that construction conforms to county-wide building and grading requirements for issuance of such certificates, and to the regulations of the Dalidio Ranch zoning district. No additional approvals or entitlements, including but not limited to departmental review approval, conditional use permit, land use permit, minor use permit, any approval or requirement of the resource management system, any approval of requirement of the growth management ordinance, development plan, planned development, variance, plot plan approval, zoning clearance, site plan approval, site plan review, minor use permit, or any other review or entitlement purporting to regulate or guide land use or development shall be required by the County to develop the project described in such application.
[Added by the 2006 Dalidio Ranch Initiative Measure; Amended 2014 Ord. 3256]
Development within the Dalidio Ranch zoning district shall be subject to the conditions listed in Attachment F of the Dalidio Ranch Initiative, which include provisions relating to funding for traffic improvements, phasing that ensures timely development of community amenities, and restrictions and limitations upon development. The County shall have available to it for enforcing the conditions listed in Attachment F the same enforcement mechanisms as it would have for conditions of approval of other development projects, except that the County shall not have the power to revoke, repeal, amend or stay the Dalidio Ranch General Plan Amendment or the Dalidio Ranch Rezoning. Upon request of the owner of the affected portion of the Property, the County shall administer and apply the conditions and restrictions set forth in Attachment F in the same malliler and according to the same processes as are used to administer and apply conditions of approval imposed on all other development projects in the County, including the substitution of equivalent measures, without the need for a vote of the people.
[Added by the 2006 Dalidio Ranch Initiative Measure; Amended 2014 Ord. 3256]
The Dalidio Ranch zoning district provides for seven subareas in order to address the varied uses and characteristics of the project site. Attachment C illustrates the location and boundaries of each of the subareas and Attachment D illustrates the planned improvements. A listing of the subareas is provided below and the following sections identify development standards and allowable uses for each subarea. The footprints of the buildings shown in the commercial/retail subarea on Attachment D are illustrative. The actual footprints of the constructed building may vary so long as no building exceeds 140,000 square feet. The boundaries of the subareas and the improvements depicted for each use within a subarea may vary from those shown on Attachment C so long as the total area devoted to any particular use is not increased by more than five percent, and so long as the geographic relationship between the various uses does not change.
[Added by the 2006 Dalidio Ranch Initiative Measure; Amended 2014 Ord. 3256]
A.
Purpose and application. The DRC subarea is intended to provide for a wide range of retail sales, business, personal, and professional services, as well as recreation, entertainment, and transient lodging. The land uses allowed in this zone will generally serve the entire community and the region, as well as tourists and travelers, complimented by neighborhood serving commercial retail uses and services.
B.
Property development standards. The property development standards for the DRC subarea are as follows:
1.
Maximum density: A maximum of 150 rooms for hotel or motel uses.
2.
Maximum height: 35 feet to top of structure and 45 feet to top of architectural feature. This limitation does not apply to hotel or motel uses. A hotel or motel may be up to 4 stories plus mechanical equipment and elevator shafts.
3.
Maximum coverage: 100 percent.
4.
Maximum floor area ratio: The ratio of gross building floor area to site area (defined as the area of the DRC Subarea) shall not exceed 3.0. The maximum floor ratio area does not apply to a hotel or motel.
5.
Parking requirements: Commercial center: 1 space per 250 square feet of use area; Hotels/motels: 2 spaces, plus 1 per unit, plus 1 per 10 units.
6.
Minimum and maximum building size and configuration:
a.
Commercial Retail Uses. Not more than 530,000 square feet of retail uses with no one building larger than 140,000 square feet. Major retail tenants with combined space up to 415,000 square feet. Up to 6 major tenants in spaces no smaller than 20,000 square feet
7.
Signs. Signage shall be reasonably consistent with signs for comparable uses in the surrounding area.
8.
Allowable Uses.
Automobile Service Stations/Gas Stations
Banks & Financial Services
Business Support Services
Building Materials & Hardware
Car Wash
Financial Services
Furniture, Home Furnishings & Equipment
General Retail
Grocery Stores
Health Care Services
Indoor Amusements and Recreation
Mail Order & Vending
Lodging - Bed & Breakfast Inns, 4 or more units
Lodging - Hotels & Motels, 39 or less units
Lodging - Hotels & Motels, 40 or more units
Lodging - Hotels & Motels, Condominium
Offices
Offices - Temporary
Outdoor retail sales
Personal Services
Repair Services - Consumer Products
Restaurants
Roadside Stands
Storage - Accessory
Temporary Construction Yards (off-site)
Temporary Events
Entertainment
[Added by the 2006 Dalidio Ranch Initiative Measure; Amended 2014 Ord. 3256]
A.
Purpose and application. The DBP subarea is intended to provide for offices and business services convenient to public transportation and commercial uses and services.
B.
Property development standards. The property development standards for the DBP subarea are as follows:
1.
Maximum density: No dwelling units allowed.
2.
Yards: Front yard setback shall be 20 feet
3.
Maximum height: 35 feet to top of structure plus mechanical equipment and 45 feet to top of architectural feature.
4.
Maximum coverage: 75 percent.
5.
Maximum floor area ratio: The ratio of gross building floor area to site area (defined as the area of the DBP Subarea) shall not exceed 1.5.
6.
Parking requirements: Parking shall be reasonable consistent with parking for comparable uses in the surrounding area.
7.
Signs. Signage shall be reasonably consistent with signs for comparable uses in the surrounding area.
8.
Allowable Uses.
Banks & Financial Services
Business Support Services
Health Care Services
Mail Order & Vending
Offices
Offices - Temporary
Personal Services
Repair Services - Consumer Products
Storage - Accessory
Temporary Construction Yards (off-site)
Temporary Events
[Added by the 2006 Dalidio Ranch Initiative Measure; Amended 2014 Ord. 3256]
A.
Purpose and application. The DR subarea is intended to primarily to provide housing opportunities for smaller households desiring little private open space and to provide various types of group housing. This area is close to commercial and recreational facilities serving the whole community.
B.
Property development standards. The property development standards for the DR subarea are as follows:
1.
Maximum density: 18 dwellings units per net acre.
2.
Maximum number of dwelling units: 60 dwelling units.
3.
Yards: Front yard shall be 20 feet. Rear yard shall be 10 feet. Other yards shall be 5 feet. Yard setbacks for common interest developments shall only apply to project perimeter.
4.
Maximum height: 35 feet.
5.
Maximum coverage: 60 percent.
6.
Parking requirements: Resident Parking: 1 space per one bedroom or studio unit, 1.5 spaces per two bedroom units, 2 spaces per three or more bedrooms, plus Guest Parking: 1 space, plus 1 space for each 4 units, or fraction thereof.
7.
Signs. Signage shall be reasonably consistent with signs for comparable uses in the surrounding area.
8.
Allowable Uses.
Accessory Dwelling Units
Caretaker Residence
Home Occupations
Multi-Family Dwellings
Residential Accessory Uses
Single-Family Dwellings
Temporary Construction Trailer Parks
Temporary Dwellings
Temporary Events
[Added by the 2006 Dalidio Ranch Initiative Measure; Amended 2014 Ord. 3256; 2020, Ord. 3409]
A.
Purpose and application. The DOA subarea is intended to encourage conservation of agricultural lands and the continuation of agricultural uses compatible with urban development. Agriculturally-related uses such as farmers markets are also allowed as a companion use.
B.
Property development standards. The property development standards for the DOA subarea are as follows:
1.
Maximum density: No dwellings units allowed (except for a single caretakers unit or agricultural worker housing).
2.
Parking requirements: Improved off -street parking and loading spaces are allowed only as necessary to satisfy on-site uses.
3.
Signs. Signage shall be reasonably consistent with signs for comparable uses in the surrounding area.
4.
Allowable Uses.
Ag Processing
Agricultural Accessory Structures
Caretaker Residence
Crop Production
Outdoor Retail Sales (includes Farmers Markets)
Storage - Accessory
Temporary Events
Organic Food Service
[Added by the 2006 Dalidio Ranch Initiative Measure; Amended 2014 Ord. 3256; 2020, Ord. 3417]
A.
Purpose and application. The DCOS sub-area applies to an area most suitable for open space uses because of topography, geology, vegetation, soils, wildlife habitat, scenic prominence, or flood hazard. The DCOS sub-area is intended to prevent exposure of urban development to unacceptable risks posed by natural hazards and to protect natural resources from disruptive alterations.
B.
Property development standards and allowable uses. The property development standards for the DCOS subarea are as follows:
The use of this sub-area is limited to resource conservation, including conservation of the riparian area, trees and related animal and plant biological resources. Public viewing of the resources is allowed. Also, use of the sub-area for a portion of the Bob Jones Trail is allowed. Improvements related to these uses are limited to pathways, seating, signage, storage buildings, viewing platforms and similar such improvements.
[Added by the 2006 Dalidio Ranch Initiative Measure; Amended 2014 Ord. 3256]
A.
Purpose and application. The DROS sub-area is intended to provide for sports; active recreational uses or civic uses.
B.
Property development standards. The property development standards for the DROS subarea are as follows:
1.
Yards: 20 feet from residential uses No setback from non-residential uses.
2.
Maximum height: N/A.
3.
Maximum coverage: N/A.
4.
Maximum floor area ratio: N/A.
5.
Parking requirements: Necessary parking for on-site uses only.
6.
Signs. Signage shall be reasonably consistent with signs for comparable uses in the surrounding area.
7.
Allowable Uses.
Outdoor Sports & Recreational Facilities
Outdoor Athletic Facilities
Recreation Equipment Rental - Non-motorized
Storage - Accessory
Temporary Construction Yards (off-site)
Temporary Events
Historic Barn
[Added by the 2006 Dalidio Ranch Initiative Measure; Amended 2014 Ord. 3256]
A.
Purpose and application. The DCF subarea is intended for infrastructure in support of the overall project including a package plant for water and wastewater services. In the event water and wastewater services are secured from a public agency and the package plant is not needed to implement the Dalidio Ranch project, this portion of the DCF subarea may be developed under DROS subarea zoning uses.
B.
Property development standards. The property development standards for the DCF subarea are as follows:
1.
Yards: N/A.
2.
Maximum height: N/A.
3.
Maximum coverage: N/A.
4.
Maximum floor area ratio: N/A.
5.
Parking requirements: Necessary parking for on-site uses only.
6.
Signs. Signage shall be reasonably consistent with signs for comparable uses in the surrounding area.
7.
Allowable Uses.
Private Utility Facility
Storage - Accessory
Temporary Construction Yards (off-site)
Temporary Events
[Added by the 2006 Dalidio Ranch Initiative Measure; Amended 2014 Ord. 3256]
"Ag Processing" means establishments and buildings used to perform a variety of operations on crops after harvest, to prepare them for market on-site or further processing and packaging at a distance from the agricultural area including but not limited to: alfalfa cubing; hay baling and cuing; corn shelling; drying of corn, rice, hay fruits and vegetables; pre-cooling and packaging of fresh or farm-dried fruits and vegetables; grain cleaning and custom grinding; custom grist mills; custom milling of flour, feed and grain; sorting, grading and packing of fruits and vegetables, tree nut hulling and shelling; cotton ginning; wineries, alcohol fuel production; and receiving and processing of green material, other than that produced on-site (commercial composting). Green material is any wastes which are derived from plant material, including but not limited to leaves, grass clippings, weeds, tree trimmings or shrubbery cuttings. Note: any of the above activities performed in the field with mobile equipment not involving permanent buildings (with the exception of the receiving and processing of green material other than that produced on-site) are included under "Crop Production and Grazing."
"Agricultural Accessory Structure" means an uninhabited structure or building designed and built to store implements, supplies or products (not including commercial greenhouses which are included under "Nursery Specialties," or buildings for agricultural processing activities) that contains no residential use and is not open to the public. Also includes greenhouses engaged in agricultural research as the primary use. Agricultural Accessory Structures can also include but not be limited to wind and solar powered devices used for direct climate control, and water pumping or other conversion of wind or solar energy to mechanical or thermal power used on-site. Wind energy conversion machines for electric power generation are separately defined. Includes barns, grain elevators, silos, and other similar buildings and structures.
"Agricultural Worker Housing" means includes residences, rooming and boarding houses and mess halls for farm workers employed 011 and near land owned by the owner of the building site on which the quarters are located.
"Automobile Service Stations and Gas Stations" means retail trade establishments primarily engaged in the sale of gasoline, which may also provide lubrication, oil change and tune-up services and the sale of automotive products incidental to gasoline sales. May also include accessory towing, mechanical repair services and trailer rental, but does not include storage of wrecked or abandoned vehicles, paint spraying body and fender work. Does not include the retail sale of gasoline as a subordinate service to food and beverage retail sales when limited to not more than two pumps.
"Building Materials and Hardware" means retail trade establishments primarily engaged in selling lumber and other building materials including paint, wallpaper, glass, hardware, nursery stock, lawn and garden supplies. Includes all such stores selling to the general public, even if contractor sales account for a larger proportion of total sales. Also includes incidental retail ready-mix concrete operations.
"Business Support Services" means service establishments primarily within buildings, providing other businesses with services including maintenance, repair and service, testing, rental, etc., also including: outdoor advertising services; mail advertising services (reproduction and shipping); blueprinting, photocopying, photofinishing, commercial art and design (production); film processing laboratories; services to structures such as window cleaning, exterminators, janitorial services; heavy equipment and business equipment repair services including welding repair and armature rewinding and repair (except vehicle repair); computer related services (rental, repair, and maintenance); research and development laboratories, including testing facilities; soils and materials testing laboratories; protective services (other than office related); equipment rental businesses that are entirely within buildings (not equipment rental yards), including leasing tools, machinery and other business items except vehicles; trading stamp services, and other business services of a "heavy service" nature.
"Caretaker Residence" means a permanent residence that is secondary or accessory to the primary use of the property. A caretaker dwelling is used for housing a caretaker employed on the site of any non-residential use where a caretaker is needed for security purposes or to provide twenty-four-hour care or monitoring of people, plants, animals, equipment, or other conditions on the site.
"Crop Production" means encompasses the following overall crop types and activities as indicated:
a.
"Specialty Crops" means strawberries, herb crops, flower seed and cut flower crops (open field), kiwi vines, edible pod peas, bushberry crops, Christmas trees and other outdoor ornamentals, intensive horticulture, sod farms, clover seed, hops, and wholesale nurseries (see separate definition).
b.
"Row Crops" means all vegetable truck crops except edible pod peas. Includes lima and snap beans.
c.
"Orchards" means all fruit and nut tree crops, does not include kiwi, berry, or other vine crops.
d.
"Field Crops" means beans other than snap or lima beans, barley, oats, safflower, wheat, grain and hay including alfalfa, silage and grain corn, sugar beets, melons, cotton.
e.
"Rangeland" means grazing of livestock on grasses without irrigation.
f.
"Pasture (irrigated)" means grazing of livestock on irrigated grasses.
g.
"Vineyards" means grapevines.
h.
"Preparation for Cultivation" means land-contouring, clearing, irrigation construction and other preparation of soil for crops.
i.
"Field Processing" means mechanical processing of crops in the field at harvest, when such activities do not involve a permanent structure. Such activities include but are not limited to hay baling and field-crushing of grapes.
"Financial Services" means service establishments primarily engaged in the field of finance, including: banks and trust companies; lending and thrift institutions, credit agencies; brokers and dealers in securities and commodity contracts; security and commodity exchanges; holding (but not predominately operating) companies; and other investment companies; vehicle finance (equity leasing agencies).
"Furniture, Home Furnishings and Equipment" means retail trade establishments primarily engaged in selling home furnishings such as furniture, floor coverings, draperies, glass and chinaware, domestic stoves, refrigerators, other household electrical and gas appliances including televisions and home sound systems and outdoor furniture such as lawn furniture, movable spas and hot tubs. Establishments selling electrical and gas appliances are included only if the major part of their sales consist of articles for home use. Also includes the retail sale of office furniture and large musical instruments.
"General Retail" means retail trade establishments including department stores, variety stores, drug and discount stores, general stores, etc., engaged in retail sales of many lilies of new and used merchandise, including: dry goods; apparel and accessories; small wares; sporting goods and equipment; bicycles and mopeds, musical instruments, arts and accessories. Also includes sales of miscellaneous shopping goods such as: books; stationery; jewelry; hobby materials, toys and games; cameras and photographic supplies; gifts; novelties and souvenirs; luggage and leather goods; fabrics and sewing supplies; florists and houseplant stores; cigar and newsstands; artists supplies; orthopedic supplies; religious goods handcrafted items (stores for which may include space for crafting operations when such area is subordinate to retail sales); and other miscellaneous retail shopping goods.
"Grocery Stores" means retail trade establishments primarily engaged in selling food for home preparation and consumption, as well as the retail sale of packaged alcoholic beverages for consumption off the premises, including wine tasting facilities which are not on the same site as the winery. Establishments (except for wine tasting facilities) may include no more than two gas pumps as an accessory use.
"Health Care Services" means service establishments primarily engaged in furnishing medical, mental health, surgical and other personal health services including: medical, dental and psychiatric offices (mental health-related services including various types of counseling practiced by licensed individuals other than medical doctors or psychiatrists, or unlicensed individuals, are included under offices); medical and dental laboratories; out-patient care facilities; chiropractic offices and allied health services. Associations or groups primarily engaged in providing medical or other health services to members are included. Also includes hospitals and similar establishments primarily engaged in providing diagnostic services, extensive medical treatment including surgical and other hospital services; such establishments have an organized medical staff, inpatient beds, and equipment and facilities to provide complete health care. Nursing homes and similar long-term personal care facilities are not included in this classification.
"Home Occupations" means the gainful employment of the occupant of a dwelling, with such employment activity being subordinate to the residential use of the property, and there is no display, no stock in trade, or no commodity sold on the premises, and no persons employed other than residents of the dwelling.
"Indoor Amusements and Recreation" means establishments providing indoor amusement or entertainment for a fee or admission charge, such as: arcades containing coin operate amusements and/or electronic games (five or more such games or coin-operated amusements in any establishment constitutes an arcade in compliance with this definition, four or less are not considered a land use separate from the primary use of the site); card rooms, billiard and pool halls; bowling alleys; ice skating and roller skating; dance halls, clubs and ballrooms which are principal uses rather than being subordinate to an eating or drinking place; gymnasiums, reducing salons, health and athletic clubs including indoor sauna, spa or hot tub facilities; tennis, handball, racquetball, indoor archery and shooting ranges and other indoor sports activities.
"Lodging - Bed and Breakfast Inns" means residential structures with one family in permanent residence where bedrooms without individual cooking facilities are rented for overnight lodging, where meals may be provided subject to applicable county health department regulations. Does not include "Homestays" and "Hotels and Motels," "Lodging - Hotels, Motels" means commercial transient lodging establishments including hotels, motor hotels, motels, tourist courts or cabins, primarily engaged in providing overnight or otherwise temporary lodging, with or without meals, for the general public. Includes the preceding lodging establishments where developed as planned developments, or condominiums. Also includes accessory guest facilities such as swimming pools, tennis courts, indoor athletic facilities, and accessory meeting and conference facilities, etc.
"Mail Order and Vending" means establishments primarily engaged in retail sale of products by catalog and mail order. Also includes vending machine distributorship and suppliers. Does not include product manufacturing, which is included under the applicable manufacturing use.
"Multi-Family Dwellings" means includes a building or a portion of a building used and/or designed as a residence for two or more families living independently of each other. Includes: duplexes, triplexes and apartments; attached ownership units such as condominiums, PUDs and townhouses; and rooming and boarding houses (a residential structure where rooms are rented for short or long-term lodging where at least one meal daily is shared in common dining facilities, with ten or fewer beds for rent).
"Nursery" means facility for propagation and/or sale of horticultural or ornamental plant materials and related products including:
a.
"Retail Nursery" means a nursery offering products to the general public, including plant materials, planter boxes, fertilizer, garden tools, and related items.
b.
"Wholesale Nursery" means a nursery that sells plant materials raised on the same site to other businesses.
c.
"Accessory Nursery" means a nursery that is developed as a subordinate use to a principal or main building.
d.
"Greenhouse" means a nursery facility for indoor propagation of plants, constructed with transparent panels, including lath houses.
"Nursery Specialties" means agricultural establishments primarily engaged in the production of ornamental plants and other nursery products, grown under cover or outdoors. Also includes establishments engaged in the sale of such products (e.g., wholesale and retail nurseries) and commercial scale greenhouses.
"Offices" means professional or government offices including: engineering, architectural and surveying services; real estate agencies; non-commercial educational, scientific and research organizations; accounting, auditing and bookkeeping services; writers and artists; advertising agencies; photography and commercial art studios; employment, stenographic, secretarial and word processing services; quick printing, copying and blueprinting services; reporting services; data processing and computer services; management, public relations and consulting services; detective agencies and similar professional services; attorneys; and counseling services (other than licensed psychiatrists which are included under "Health Care Services"); and government offices including agency and administrative office facilities, and local post offices when located in facilities developed by private parties for occupancy by the postal service or other operator (does not include bulk mailing distribution centers, which are included under "Vehicle and Freight Terminals"). Does not include medical offices (which are allowed under "Health Care Services") or offices that are incidental and accessory to another business or sales activity which is the principal use. Incidental offices are allowed in any land use category as part of an approved principal use.
"Offices, Temporary" means a mobilehome, recreational vehicle or modular unit used as: a temporary business or construction office during construction of permanent facilities on the same site or as an office on the site of a temporary offsite construction yard; a temporary on-site real estate office for a development project; or a temporary business office in advance of permanent facility construction.
"Outdoor Retail Sales" means temporary retail trade establishments including: farmer's markets; sidewalk sales; seasonal sales involving Christmas trees, fireworks, pumpkins or other seasonal items; semiannual sales of art or handcrafted items in conjunction with community festivals or art shows; and retail sales or various products from individual motor vehicles in temporary locations outside the public right-of-way, not including bakery, ice cream and similar vending vehicles that conduct all sales within the right-of-way and do not stop in any location except on customer demand. Does not include flea markets or swapmeets.
"Outdoor Sports and Recreation Facilities" means facilities for various outdoor sports and recreation, including: amusement, theme and kiddie parks; golf courses, golf driving ranges and miniature golf courses; skateboard parks and water slides; go-cart and miniature auto race tracks; recreation equipment rental (e.g. bicycles and roller skates equipment); health and athletic clubs with predominately outdoor facilities; tennis courts, swim and tennis clubs; play lots, playgrounds and athletic fields (non-professional); recreation and community centers.
"Personal Services" establishments primarily engaged in providing nonmedically related services generally involving the care of persons including beauty and barber shops; shoe repair shops; saunas and hot tubs; laundromats (self-service laundries); dry cleaning pick-up stores and small-scale dry cleaners without pick-up and delivery services; clothing rental; dating and escort services; funeral parlors and related facilities. These uses may also include accessory retail sales of products related to the services provided.
"Private Utility Facility" means onsite utilities including a wastewater facility and domestic water package plant to support the Dalidio Ranch water and wastewater demands.
"Repair Services - Consumer Products" means service establishments where repair of consumer products is the principal business activity, including: electrical repair shops; television and radio and other appliance repair; watch, clock and jewelry repair; re-upholstery and furniture repair. Does not include shoe repair (included under "Personal Services"). Does not include repair or services incidental and accessory to retail sales. Does not include businesses serving the repair needs of heavy equipment.
"Residential Accessory Uses" means includes any use that is customarily part of a residence and is clearly incidental and secondary to a residence and does not change the character of the residential use. Residential accessory uses include the storage of vehicles and other personal property, and accessory structures including swimming pools, workshops, studios, greenhouses, garages, and guesthouses (without cooking or kitchen facilities). Includes non-commercial TV and radio broadcasting and receiving antennas, including equipment for satellite broadcast reception.
"Restaurants" means establishments selling prepared foods and drinks for on-premise or off-premise consumption. Also includes drive-in and drive-through restaurants, lunch counters and refreshment stands selling prepared goods and drinks for immediate consumption. Restaurants, delis and lunch counters operated as subordinate service facilities within other establishments are not included here unless they are operated as leased departments by outside operators.
"Roadside Stands" means open structures for the retail sale of agricultural products (except hay, grain and feed sales-included under Farm Equipment and Supplies), located on the site or in the area of the property where the products being sold were grown. Does not include field sales or agricultural products, which is included under "Crop Production and Grazing."
"Single-family Dwelling" means a building designed for an/or occupied exclusively by one family. Also includes attached ownership units using common wall development or airspace condominium ownership, where a proposed site qualifies for planned development through designation by planning area standard or through compliance with any planned development or cluster division standards of this Title. Also includes factory-built housing.
"Storage, Accessory" means the indoor or outdoor storage of various materials on the same site as a principal building or land use which is other than storage, which supports the activities or conduct of the principal use.
"Temporary Construction Trailer Park" means a temporary recreational vehicle park provided by the developer of a major construction project to provide short-term construction employees the opportunity to use recreational vehicles for housing during project construction.
"Temporary Construction Yards" means a storage yard for construction supplies, materials or equipment, located on a site other than the construction site itself or immediately adjacent to it, for use only during the actual construction of a project.
"Temporary Events" means any use of a structure or land for an event for a limited period of time where the site is not to be permanently altered by grading or construction of accessory facilities. Events include but are not limited to art shows, rodeos, religious revivals, tent camps, outdoor festivals and concerts.
[Added by the 2006 Dalidio Ranch Initiative Measure; Amended 2014 Ord. 3256; 2020, Ord. 3409; 2020, Ord. 3417]
All streets intended for public dedication shall be constructed to County public road standards, and the owner of each portion of the Property on which they are located shall offer to dedicate them to the County pursuant to an offer that allows the County to accept the offer. Streets may be public or private, as determined by the County in deciding whether to accept any offer of dedication.
[Added by the 2006 Dalidio Ranch Initiative Measure; Amended 2014 Ord. 3256]
Figure 113-1: Attachment C Dalidio Ranch Initiative
Figure 113-2: Attachment D Dalidio Ranch Initiative
Attachment F - Dalidio Ranch Initiative
CONDITIONS OF APPROVAL
A.
Traffic Related Commitments.
1.
Overpass. Prior to issuance of the first Certificate of Occupancy for the Dalidio Ranch Project, the owner of the Property shall cause to be deposited the sum of four million dollars in an escrow maintained by Chicago Title Company. The amount of the deposit, combined with the dedication of lands described below, is the fail- share of the Dalidio Ranch Project for the Prado Road overpass of Highway 101 and associated on and offramps to 101.
(a)
The deposit shall be accompanied by irrevocable instructions to pay the deposit, plus accrued interest, to the State of California, Department of Transportation (Caltrans) when the following certifications al-e submitted to the escrowholder.
(i)
The first certificate that CalTrans may deliver to the escrowholder in order to withdraw the deposit shall be on Caltrans letterhead, addressed to the escrow holder with a copy to the County's Director of the Department of Public Works and Transportation, and signed by Caltrans' Director, Chief Deputy Director, or Director of Region 5 and shall include the following statement: "I certify that Caltrans is prepared to continue the design of the Prado Road overpass and ramps from and to Highway 101 in the County of San Luis Obispo. I certify that the amounts to be expended by Caltrans for this design work will be no less than $750,000.
(ii)
The second certificate that CalTrans may deliver to the escrowholder in order to withdraw the deposit shall be on Caltrans letterhead, addressed to the escrow holder with a copy to the County's Director of the Department of Public Works and Transportation, and signed by CalTrans Director, Chief Deputy Director, or Director of Region 5 and shall include the following statement: "I certify that Caltrans has awarded and entered into [a] contract(s) for construction of the Prado Road overpass and all or a portion of ramps from and to Highway 101 in the County of San Luis Obispo. I have been informed by the escrowholder that the current balance of the deposit is [insert here the amount] and I certify that the amounts to be paid by Caltrans under the terms of the awarded contract(s) are no less than that amount.
(iii)
If either certification is not delivered within ten years from the date that the deposit is delivered to the escrowholder, or if there are excess funds above that which is required for the authorized purposes, then the escrowholder shall pay the balance of the deposit remaining as of that date, plus accrued interest, to the County of San Luis Obispo. Any funds paid to the County shall be held in a segregated account and shall be withdrawn only for use for road, street and highway improvements within the area encompassed by the San Luis Obispo Area Plan that will directly improve traffic circulation in the immediate area of the Dalidio Ranch Project.
Figure 113-2: Attachment D Dalidio Ranch Initiative
(iv)
The instructions also shall contain additional provisions as required by the escrowholder to enable it to administer the escrow as set forth in this Attachment F and shall include directions to provide to Caltrans, from time to time, upon its request, the current balance of the deposit and accrued interest. A copy of the escrow instructions shall be mailed to Director, Region 5, Caltrans.
(b)
Prior to issuance of the first Certificate of Occupancy for the Dalidio Ranch Project, the owner of the Property shall cause to be delivered to the Cal Trans via the Director of Region 5 an irrevocable offer of dedication for an approximately 13 acre parcel located in the northwest portion of the Property to be used for an overpass crossing Highway 101, related on-ramps and off-ramps and uses incidental thereto generally as depicted on Attachment D.
2.
Calle Joaquin Extension. Prior to issuance of the first Certificate of Occupancy for the Dalidio Ranch Project, the owner of the Property shall cause to be deposited the sum of $150,000 in an escrow maintained by Chicago Title Company. The amount of the deposit is the fair share of the Dalidio Ranch Project for the extension of Calle Joaquin from the southern boundary of the Property to what is expected to be northern terminus of Calle Joaquin at the time the deposit will be made.
(a)
The deposit shall be accompanied by irrevocable instructions to pay the deposit, 1 3, plus accrued interest, to the City of San Luis Obispo (the City) when the following certification is submitted to the escrowholder.
(i)
The certificate that the City may deliver to the escrowholder in order to withdraw the deposit shall be on City letterhead, addressed to the escrowholder with a copy to the County's Director of the Department of Public Works and Transportation, and signed by the City Director of the Department of Public Works and shall include the following statement: "I certify that the City has acquired, or is under contract to acquire, a right of way between the southern boundary of the Dalidio Ranch Property and the northern terminus of Calle Joaquin and that it has awarded and entered into [a] contract(s) for construction of Calle Joaquin over this land. I have been informed by the escrowholder that the current balance of the deposit is [insert here the amount] and I certify that the amounts incurred by the City to acquire the property and to be expended under the awarded construction contract are no less than that amount.
(ii)
If the certificate is not delivered within one year from the date that the deposit is delivered to the escrowholder, or if there are excess funds above that which is required for the authorized purposes, then the escrowholder shall pay the balance of the deposit remaining as of that date, plus accrued interest, to the party who paid the deposit.
(iii)
The instructions also shall contain additional provisions as required by the escrowholder to enable it to administer the escrow as set forth in this Attachment F and shall include directions to provide to the City, from time to time, upon its request, the current balance of the deposit and accrued interest. A copy of the escrow instructions shall be mailed to the City's Director of Public Works.
(b)
Prior to issuance of the first Certificate of Occupancy for the Dalidio Ranch Project, the owner of the Property shall cause to be delivered to the City an irrevocable offer of dedication for that portion of Calle Joaquin constructed across the Dalidio Ranch Property generally as depicted on Attachment D.
3.
Calle Joaquin/Los Osos Valley Road Intersection. Prior to issuance of the first Certificate of Occupancy for the Dalidio Ranch Project, the owner of the Property shall cause to be deposited the sum of $250,000 in an escrow maintained by Chicago Title Company. The amount of the deposit, is the fair share of the Dalidio Ranch Project for improvements to the intersection of Calle Joaquin and Los Osos Valley Road, including additional turn lanes and related improvements to aid the flow of traffic through the intersection.
(a)
The deposit shall be accompanied by irrevocable instructions to pay the deposit, plus accrued interest, to the City when the following certification is submitted to the escrowholder.
(i)
The certificate that the City may deliver to the escrowholder in order to withdraw the deposit shall be on City letterhead, addressed to the escrowholder with a copy to the County's Director of the Department of Public Works and Transportation, and signed by the City Director of the Department of Public Works and shall include the following statement: "I certify that the City has awarded and entered into [a] contract(s) for construction of improvements to the intersection of Calle Joaquin and Los Osos Valley Road that are designed to aid the flow of traffic through the intersection. I have been informed by the escrowholder that the current balance of the deposit is [insert here the amount] and I certify that the amounts to be incurred by the City under the awarded construction contract are no less than that amount.
(ii)
If the certificate is not delivered within one year from the date that the deposit is delivered to the escrowholder, or if there are excess funds above what is required for the authorized purposes, then the escrowholder shall pay the balance of the deposit remaining as of that date, plus accrued interest, to the party who paid the deposit.
(iii)
The instructions also shall contain additional provisions as required by the escrowholder to enable it to administer the escrow as set forth in this Attachment F and shall include directions to provide to the City, from time to time, upon its request, the current balance of the deposit and accrued interest. A copy of the escrow instructions shall be mailed to the City's Director of Public Works.
4.
Madonna Road/Los Osos Valley Road Intersection. Prior to issuance of the first Certificate of Occupancy for the Dalidio Ranch Project, the owner of the Property shall cause to be deposited the sum of $20,000 in an escrow maintained by Chicago Title Company. The amount of the deposit is the fair share of the Dalidio Ranch Project for improvements to the intersection of Madonna Road and Los Osos Valley Road, including reconfiguration of traffic lanes and related improvements to aid the flow of traffic through the intersection.
(a)
The deposit shall be accompanied by irrevocable instructions to pay the deposit, plus accrued interest, to the City when the following certification is submitted to the escrowholder.
(i)
The certificate that the City may deliver to the escrowholder in order to withdraw the deposit shall be on City letterhead, addressed to the escrowholder with a copy to the County's Director of the Department of Public Works and Transportation, and signed by the City Director of the Department of Public Works and shall include the following statement: "I certify that the City has awarded and entered into [a] contract(s) for construction of improvements to the intersection of Madonna Road and Los Osos Valley Road that are designed to aid the flow of traffic through the intersection. I have been informed by the escrowholder that the current balance of the deposit is [insert here the amount] and I certify that the amounts to be incurred by the City under the awarded construction contract are no less than that amount.
(ii)
If the certificate is not delivered within one year from the date that the deposit is delivered to the escrowholder, or if there are excess funds above what is required for the authorized purposes, then the escrowholder shall pay the balance of the deposit remaining as of that date, plus accrued interest, to the party who paid the deposit.
(iii)
The instructions also shall contain additional provisions as required by the escrowholder to enable it to administer the escrow as set forth in this Attachment F and shall include directions to provide to the City, from time to time, upon its request, the current balance of the deposit and accrued interest. A copy of the escrow instructions shall be mailed to the City's Director of Public Works.
B.
Recreational, Agricultural and Conservation Commitments.
To ensure that development proceeds in an order that will maximize public benefits in early phases, development shall occur as follows:
1.
Sportsfields. Before issuance of the first Certificate of Occupancy of the Dalidio Ranch Property, construction shall have begun on the sports fields shown in Attachment D. Construction shall be completed one year thereafter,
2.
Agriculture Easement and Farmers Market. Before issuance of the first Certificate of Occupancy of the Dalidio Ranch Property, construction shall have commenced of the Farmers Market shown on Attachment D. Construction shall be completed one year thereafter. Also, the land to be used for organic agricultural uses as shown 011 Attachment D shall have a restrictive covenant place on it limiting the use of the property to agricultural purposes.
3.
Conservation Open Space Easement. Before issuance of the first Certificate of Occupancy of the Dalidio Ranch Property, an easement to the land to be used for conservation open space as shown on Attachment C shall have a covenant place on it limiting the use of the property to conservation purposes.
4.
Bob Jones Trail. Before issuance of the first Certificate of Occupancy of the Dalidio Ranch Property, construction shall have commenced on that portion of the Bob Jones Trail that will cross the Dalidio Ranch Property. Construction shall be completed one year thereafter.
5.
Conservation Viewing Areas. Before issuance of the first Certificate of Occupancy of the Dalidio Ranch Property, construction shall have commenced on a viewing area for Monarch Butterflies and related walkway and seating improvements. Construction shall be completed one year thereafter.
C.
Other Commitments.
1.
Design and construction of the buildings, roadway infrastructure and all subgrades shall be engineered to withstand the expected ground acceleration that may occur at this site. The design should take into consideration the soil type, potential for liquefaction, and the most current and applicable seismic attenuation methods that are available. All on-site structures shall comply with applicable provisions of the California Building Standards Code and any roadway infrastructure falling within the jurisdiction of the California Department of Transportation shall comply with its most recent seismic design standards.
2.
If feasible, retail stores included in the Dalidio Ranch, should not stack goods higher than 8 feet from the floor in any area where customers are present unless provisions are made to reduce the risk of goods falling during an earthquake of up to 7.5 magnitude.
3.
A geotechnical study shall be prepared for the project site prior to site development. This report shall include an analysis of the liquefaction potential of the underlying materials according to the most current liquefaction analysis procedures. ("Site Geotechnical Investigation"). If the site is confirmed to be in all area prone to seismically-induced liquefaction, appropriate techniques to minimize liquefaction potential shall be prescribed and implemented. All on-site structures, transportation infrastructure and subgrades shall comply with applicable methods of the Uniform Building Code and all transportation infrastructure falling within the jurisdiction of the California Department of Transportation shall comply with the most current California Department of Transportation design standards.
4.
Suitable measures to reduce liquefaction impacts should include one or more of the following techniques, as determined by a registered geotechnical engineer:
(a)
specialized design of foundations by a structural engineer,
(b)
removal or treatment of liquefiable soils to reduce the potential for liquefaction;
(c)
drainage to lower the groundwater table to below the level of liquefiable soil;
(d)
in-situ densification of soils or other alterations to the ground characteristics; or
(e)
other alterations to the ground characteristics.
5.
The Site Geotechnical Investigation shall include an evaluation of the potential for soil settlement beneath the project site.
6.
If the project site is identified to be in a high potential for settlement zone based on the Site Geotechnical Investigation, the building foundations, transportation infrastructure and subgrades shall be designed by a structural engineer to withstand the existing conditions, or the site shall be graded in such a manner as to address the condition.
Suitable measures to reduce settlement impacts should include one or more of the following techniques, as determined by a qualified geotechnical engineer:
(a)
excavation and recompaction of on-site or imported soils
(b)
treatment of existing soils by mixing a chemical grout into the soils prior to recompaction; or
(c)
foundation design that call accommodate certain amounts of differential settlement such as post tensional slab and/or ribbed foundations designed in accordance with Chapter 18, Division 11 1 of the Uniform Building Code (UBC).
7.
The Site Geotechnical Investigation shall include an evaluation of the potential for soil expansion beneath the project site.
8.
If the project site is identified to be in a high expansive soil zone based on the Site Geotechnical Investigation, the foundations and transportation infrastructure shall be designed by a structural engineer to withstand the existing conditions, or the site shall be graded in such a manner as to address the condition.
9.
Suitable measures to reduce impacts from expansive soils could include one or more of the following techniques, as determined by a qualified geotechnical engineer:
(a)
excavation of existing soils and importation of non-expansive soils; and
(b)
foundation design to accommodate certain amounts of differential expansion such as post tensional slab and/or ribbed foundations designed in accordance with Chapter 18, Division 1 11 of the UBC.
10.
The Site Geotechnical Investigation shall include soil parameter analyses to determine the potential for subsidence at the project site. If the potential for subsidence is found to be significant, then structural and grading engineering measures shall be implemented to incorporate the results of the geotechnical study. These measures would be similar to those recommended to mitigate impacts to soil settlement.
11.
During future droughts, groundwater pumping limitations for the unconsolidated aquifer underlying the project site shall be assessed and implemented to prevent soil subsidence.
12.
Prior to grading activities, a soil and groundwater assessment shall be completed by a registered soils engineer or remediation specialist to determine the on-site presence or absence of regulated contaminants that may have migrated from off-site properties, or that occur on off-site properties that would be acquired for proposed improvements. This assessment shall target agricultural chemicals throughout the historically farmed portions of the site, TPH contamination associated with off-site LUST sites along Madonna Road north of the Dalidio property boundary, and on-site PCE associated with off-site dry cleaning operations. If soil or groundwater sampling indicates the presence of any contaminant in hazardous quantities, the Regional Water Quality Control Board (RWQCB) and Department of Toxic Substances Control (DTSC) shall be contacted by the project applicant or authorized agent thereof to determine the level of any necessary remediation efforts, and these soils and/or groundwater shall be remediated in compliance with applicable laws. Site assessments that result in the need for soil excavation are required to include: an assessment of air impacts and health impacts associated with excavation activities; identification of any applicable local standards that may be exceeded by the excavation activities, including dust levels and noise; transportation impacts from the removal or remedial activities; and risk of upset practices should an accident occur at the site. An informational copy of applicable remediation certification from RWQCB and/or DTSC, or of a written confirmation that a certification is not required shall be submitted to the applicable the Department of Planning and Building.
13.
In the event that hazardous waste and/or materials posing the likelihood of a substantial and imminent threat to health and safety, including chemical odors or stained soils, are encountered during construction, then all lawfully required and appropriate measures shall he implemented as required by the California Department of Toxic Substances Control.
14.
In the event that groundwater is encountered during construction, all construction work in the vicinity of the groundwater will be halted. RWQCB shall be contacted to determine appropriate remediation actions. This could involve testing groundwater for TPH and PCE, and treatment of affected groundwater to a concentration below RWQCB standards, by a registered environmental assessor or environmental engineer in consultation with RWQCB before the water can be released into the watershed, and/or other remediation actions required by RWQCB.
15.
Prior to issuance of each Building Permit, a soils engineering study of the site for the construction to be authorized by the Permit, and hazardous materials screening analysis of all imported fill materials shall be prepared by a qualified professional. The study and the analysis shall demonstrate that all imported fill materials maintain engineering properties that are suitable for site development, and are free from contaminants that exceed threshold health and public safety levels.
16.
Reduce Impervious Surfaces. Parking lots and paved outdoor storage areas shall, where feasible and economic, use pervious paving to reduce surface water runoff and aid in groundwater recharge. The applicant shall implement landscape swales as feasible, economic and appropriate to allow for increased percolation of water on the project site.
17.
Notice of Intent. Prior to beginning construction, and as required by law, the applicant shall file a Notice of Intent (NOI) with the RWQCB for discharge from the proposed development site.
18.
Storm Water Pollution Prevention Plan ("SWPPP"). The applicant shall prepare and submit a SWPPP in compliance with the requirements of the State Water Resources Control Board. The applicant's contractor is responsible for understanding the State General Permit and instituting the SWPPP during construction. A SWPPP for site construction shall be developed prior to the initiation of grading and implemented for all construction activity on the project site in excess of one acre. The SWPPP shall include specific Best Management Practices ("BMPs") to control the discharge of material from the site. BMP methods may include, but would not be limited to, the use of temporary detention basins, straw bales, sand bagging, mulching, erosion control blankets, silt fencing, and soil stabilizers. Additional BMPs should be implemented for any fuel storage or fuel handling that could occur on site during construction.
19.
Notice of Completion of Construction. The applicant shall file a notice of completion of construction of the development identifying that pollution sources were controlled during the construction of the project, and implementing a closure SWPPP for the site.
20.
Storm Water Quality Basins. Best Management Practices shall be utilized to intercept water flowing off of proposed parking lot and roadway surfaces for each subbasin of the Dalidio property. Whenever feasible, the preferred approach to treating surface runoff will be the use of drainage swales rather than mechanical devices. The chosen method for treating runoff shall be a proven and documented pollution prevention technology device that removes oil and sediment from stormwater runoff, and retains the contaminants for safe and easy removal. The chosen device shall possess design features to prevent resuspension of previously collected contaminants and materials, and contain a built-in diversion structure to divert intense runoff events and prevent scouring of the previously collected sediments. The filter devices shall be sized to capture all dry weather surface runoff and accommodate the first flush (one inch) during storm events.
21.
Stormwater BMP Maintenance Plan. The stormwater BMP devices shall be inspected, cleaned and initiated in accordance with the manufacturer's maintenance specifications by the person or entity that has possession of the lands on which the devices are located. The devices shall be cleaned prior to the onset of the rainy season (i.e. November 1st) and immediately after the end of the rainy season (i.e. May 1st). All devices will be checked after major storm events.
22.
NPDES Permit. If required separate and apart from the requirement of a State General Permit, the applicant shall procure a National Pollution Discharge Elimination System permit that adheres with all requirements of the Federal Clean Water Act. Additionally, certain occupants of the General Retail component may require individual NPDES permits due to the processes or materials they use.
23.
The applicant shall implement the following Best Available Control Technology for diesel-fueled construction equipment, where feasible:
(a)
Maintain all construction equipment in proper tune according to manufacturer's specifications;
(b)
Fuel all off-road and portable diesel powered equipment, including but not limited to bulldozers, graders, cranes, loaders, scrapers, backhoes, generator sets, compressors, auxiliary power units, with Air Resources Board ("ARB") certified motor vehicle diesel fuel (non-taxed version suitable for use off-road);
(c)
Maximize to the extent feasible, the use of diesel construction equipment meeting the ARB'S 1 996 01- newer certification standard for off road heavy-duty diesel engines;
(d)
If feasible, install diesel oxidation catalysts (DOC), catalyzed diesel particulate filters (CDPF) or other District approval emission reduction retrofit devices (the number of catalysts or filters required and the equipment oil which they should be installed shall be determined in consultation with the San Luis Air Pollution Control District ("APCD");
(e)
Electrify equipment where feasible;
(f)
Develop and implement a Diesel Emission Control Plan that describes the diesel emission controls to he used during construction and specifies the use of DOCS and CDPFs, in consultation with APCD prior to the start of construction;
(g)
Substitute gasoline powered for diesel powered equipment, where feasible;
(h)
Use alternatively fueled construction equipment on-site where feasible, such as compressed natural gas, liquefied natural gas, propane, or biodiesel; and
(i)
If feasible based on local availability, use equipment that has Caterpillar pre-chamber diesel engines;
24.
The applicant shall design a comprehensive construction activity management plan designed to minimize the amount of large construction vehicles operating during any given time period.
25.
Construction truck trips shall be scheduled, to the extent feasible, to occur during non-peak hours.
26.
The amount of disturbed area shall be minimized and on-site vehicle speeds shall be reduced to 15 mph or less.
27.
Water trucks or sprinkler systems shall be used in sufficient quantities during construction to prevent airborne dust from leaving the site. Increased watering frequency would be required whenever wind speeds exceed 15 mph. Reclaimed (nonpotable) water should be used, if available.
28.
If stockpiling of fill material is involved, soil that is stockpiled for more than two days shall be covered, kept moist, or treated with soil binders daily to prevent dust generation.
29.
Vehicle speed for all construction vehicles shall not exceed 15 mph on any unpaved surface at the construction site.
30.
All trucks hauling dirt, sand, soil, or other loose materials are to be covered or should maintain at least two feet of freeboard (minimum vertical distance between top of load and top of trailer).
31.
Install wheel washers where vehicles enter and exit unpaved roads onto streets, or wash off trucks and equipment leaving the site.
32.
Sweep streets as needed if visible soil material is carried onto adjacent paved roads. If feasible based on local availability, water sweepers with reclaimed water should be used.
33.
Exposed ground areas that are planned to be reworked at dates greater than one month after initial grading shall be sown with a fast germinating native grass seed and watered until vegetation is established.
34.
Conditions 23 - 33 shall be included on all Grading and Construction Plan notes, as well as on all bid requests. A contact name and phone number at the San Luis Obispo APCD shall also be provided on these documents so that contractors may consult with APCD staff on the type of construction equipment and emissions controls to be used.
35.
The project contractor/builder shall designate a person or person to monitor the dust control program and to order increased watering, as necessary, to prevent transport of dust off site. Their duties shall include holidays and weekend periods when work may not be in progress. The name and telephone number of such persons shall be provided to the APCD.
36.
A geological analysis shall be conducted prior to construction to determine the presence of serpentine rock. If naturally occurring asbestos is found on the project site, the applicant shall prepare an Asbestos Dust Control Plan and an Asbestos Health and Safety Program, which shall be approved by the APCD prior to commencement of construction activities.
37.
Prior to demolition work, areas of the onsite structures shall be sampled as part of an asbestos survey in compliance with the National Emission Standards for Hazardous Air Pollutants. If asbestos is found in any building, asbestos-related work, including demolition, involving 100 square feet or more of asbestos containing materials (ACMs) shall be performed by a licensed asbestos abatement contractors under the supervision of a certified asbestos consultant and asbestos shall be removed and disposed of in compliance with applicable State laws.
38.
If during demolition of an on-site building, paint is separated from the building material (e.g. chemically or physically), the paint waste will be evaluated independently from the building material by a qualified hazardous materials inspector to determine its proper management. All hazardous materials shall be handled and disposed in accordance with local, state and federal regulations. According to the DTSC, if paint is not removed from the building material during demolition (and is not chipping or peeling), the material call be disposed of as construction debris (a non-hazardous waste). The landfill operator will be contacted prior to disposal of building material debris to determine any specific requirements the landfill may have regarding the disposal of lead-based paint materials. The disposal of demolition debris shall comply with any such requirements.
39.
Increase building energy efficiency ratings by at least 10% above what is required by Title 24 requirements. Potential energy consumption reduction measures include, but are not limited to, increasing attic, wall, or floor insulation, the use of photovoltaic roof tiles, installation of energy efficient windows, installation of energy efficient interior lighting, use of high efficiency heating and cooling, use roofing material with a solar reference value that meets the EPA/DOE Energy Star rating installation of low energy parking lot lights, and the use of R-45 insulation in the roof/attic space of all on-site structures.
40.
Shade trees shall be planted to shade onsite structures to the greatest extent possible in summer, decreasing indoor temperatures, and reducing energy demand for air conditioning. Shade trees shall also be planted throughout the parking lots to reduce evaporative emissions from parked vehicles. The landscape plan shall be submitted to the APCD for review and comment.
41.
The applicant shall make a one-time financial contribution to the APCD to be used for one or more of the following mitigation measures: The amount of the contribution shall be reasonably related to impacts arising from the Dalidio Ranch Project as determined by the County but in no event in excess of $10,000.
(a)
Financial contribution and/or an agreement between the applicant and APCD to provide a park-and-ride lot that could serve the project area.
(b)
Financial contribution to a bus pass subsidy program as a means of reducing vehicle trips elsewhere in the community;
(c)
Financial contribution to a vehicle-purchase/pollution offset program designed to remove vehicle that do not meet state emission requirements from area roadways;
(d)
Financial contribution to a bus retrofit program designed to convert area buses to operation by natural gas;
(e)
Financial contribution to a bus purchase program designed to increase availability of alternative transportation modes to area residents;
(f)
Financial contribution to a low-emission vehicle purchase subsidy program; and
(g)
Participate in the Flash Pass Program established by APCD and SLO Transit for all employers of the project.
42.
The applicant shall develop and operate all employer-based Transportation Management Program per Clean Air Plan TCM T-1 C, which incorporates the following provisions:
(a)
Bicycle racks and/or bicycle locaters at a ratio based on demand and consistent with development approvals on the central coast and acceptable to the APCD to be determined prior to occupancy clearance; and
(b)
Carpool, vanpool and transit information shall be posted in employee break/lunch areas.
43.
To reduce overall project trip generation and associated air contaminant emissions, project tenants will be encouraged to establish and maintain employee trip reduction programs that will include, but are not limited to, the following elements:
(a)
Free or subsidized employee passes for SLO Transit;
(b)
Vanpool services provided by Ride-On Transit;
(c)
Cash incentives for using alternative travel modes;
(d)
On-site rideshare matching services;
(e)
On-site shower facilities for bicycle users;
(f)
Encourage Guaranteed Ride Home services for employees who use alternative transportation;
(g)
A minimum of 25 parking spaces to be shared use as a public Park and Ride lot;
(h)
Posted information on alternative travel modes; and
(i)
Preferential parking for employee carpools/vanpools (where feasible)
44.
The applicant shall prepare a Pedestrian Circulation Plan. The plan shall include methods to improve safe pedestrian circulation patterns within the commercial portion of the project, and between the commercial portion of the project and other nearby commercial uses, as well as other adjacent land uses.
45.
Prior to the initiation of demolition work, areas of the on-site structures proposed for removal shall be sampled as part of an asbestos survey in compliance with the National Emission Standards for Hazardous Air Pollutants. If asbestos is found in any building, asbestos related work, including demolition, involving 100 square feet or more of asbestos containing materials (ACMs) shall be performed by a licensed asbestos abatement contractor under the supervision of a certified asbestos consultant and asbestos shall be removed and disposed of in compliance with applicable State laws. Regardless of whether asbestos is identified in the building, prior to demolition of the existing structure the APCD shall be notified and an APCD Asbestos Demolition and Renovation Compliance Checklist shall be submitted to the APCD.
46.
'The disposal of demolition debris shall comply with all Department of Toxic Substances Control (DTSC) requirements for hazardous and non-hazardous wastes.
47.
Stationary construction equipment that generates noise that exceeds 65 dBA at the project boundaries shall be shielded with a barrier that meets a sound transmission class rating of 25.
48.
All diesel equipment shall be operated with closed engine doors and shall be equipped with factory-recommended mufflers.
49.
If available, electrical power shall be used to run air compressors and similar power tools.
50.
Construction activity for site preparation and for future development shall be limited to the hours between 7:00 AM and 7:00 PM, Monday through Friday and Saturday 8:00 AM to 6:00 PM. No construction shall occur on Sundays or State holidays (e.g., Thanksgiving, Labor Day). Construction equipment maintenance shall be limited to the same hours.
51.
For all construction activity on the project site, additional noise attenuation techniques shall be employed as needed to ensure that noise remains within levels allowed by the County of San Luis Obispo. Such techniques may include, but are not limited to, the use of sound blankets on noise generating equipment and the construction of temporary sound barriers between construction sites and affected uses.
52.
The movement of construction-related vehicles, with the exception of passenger vehicles, along roadways adjacent to sensitive receptors shall be limited to the hours between 7:00 AM and 7:00 PM, Monday through Friday and Saturday 8:00 AM to 6:00 PM. No movement of heavy equipment shall occur on Sundays or State holidays (e.g., Thanksgiving, Labor Day). This measure does not apply to roadways where sound walls are currently in place.
53.
Prior to development of fallow agricultural fields, surveys for Congdon's tarplant shall be performed during the blooming period of this aster (June- November). If the species is found, avoidance is the preferred option. If avoidance is not feasible, on-site mitigation is preferred if suitable habitat is present. A restoration plan shall be prepared by a qualified plant ecologist. The restoration plan shall identify the number of plants to be replanted and the methods that will be used to preserve this species in this location. The plan shall also include a monitoring program so that the success of the effort can be measured. If off-site mitigation must be performed Laguna Lake Park may contain appropriate habitat and would be a preferred site. Restoration efforts shall be coordinated with applicable federal, state, and local agencies.
54.
All proposed site disturbance shall provide a protective buffer of at least 50 feet including existing eucalyptus trees from previously unidentified great blue heron active nest sites. No development shall occur within 200 feet of previously unidentified nests located adjacent to Perfumo Creek. The perimeter of the setback area for these nests shall include a buffer and signage regarding the sensitivity of the great blue heron rookery. The buffer shall be of split rail fencing to discourage random human entry but to allow the passage of wildlife. No structural development shall occur within 50 feet of the eucalyptus trees in the vicinity of Perfumo Creek, including all great blue heron roosting sites. Eucalyptus or nesting trees within the nesting area shall not be removed unless they are a threat to human health or safety.
55.
Prior to construction during the migratory bird/heron/raptor nesting season that occurs generally between February to September, a survey for active nests shall be conducted by a qualified biologist at the site no more than two weeks prior to any scheduled development in the vicinity of the active nests. If active nests are located, construction within 500 feet of Migratory Bird Treaty Act-bird, heron, or raptor nest trees (e.g., stands of Monterey pines, cypress, and eucalyptus, and the riparian corridors along San Luis Obispo Creek and Perfumo Creek) shall be limited to the time period after young have fledged and prior to next season's breeding. A qualified biologist shall confirm that breeding/nesting is completed and young have fledged the nest prior to the start of construction. Nest trees shall only be removed outside the nesting season, or after a qualified wildlife biologist verifies that the nest is empty and the nest tree is no longer used by a raptor.
56.
During both the wintering and nesting seasons (unless the species is detected on the first survey), a qualified biologist shall conduct surveys for burrowing owls in potential habitat areas prior to construction in accordance with the guidelines described in the CDFG Staff Report on Burrowing Owl Mitigation, 1995. Winter surveys shall be conducted between December 1 and January 31, and the nesting season survey shall be conducted between April 15 and July 15. If burrowing owls are detected within the proposed disturbance area, CDFG shall be contacted immediately to develop and implement a mitigation plan to relocate owls and their nest sites.
57.
The setback around Monarch butterfly wintering site habitat shall be 50 feet from the perimeter of the habitat as defined by surveys undertaken by qualified biologists in February 2006.
58.
Eucalyptus trees within the stand along Perfumo Creek determined to be a risk to public health and safety, and therefore removed for project development shall be replaced at a ratio of at least 1:1 and of a height to shield on-site Monarch butterfly wintering sites and sensitive avian nesting habitat. Evergreen replacement trees shall be selected that reach a height capable of forming a suitable windbreak, as determined by a qualified biologist.
59.
Any open space areas along Perfumo Creek shall preserve the habitat and allow only those passive recreational uses (e.g. wooden boardwalk and viewing platform at least 50 feet from Monarch butterfly trees) that will not substantially disturb sensitive wildlife species.
60.
Prior to issuance of building permits, the applicant shall prepare a detailed lighting plan to ensure the size and brightness of fixtures is minimized and that lights are hooded and directed toward the ground.
61.
If riparian vegetation is removed for construction of project improvements it shall be replaced with locally occurring native species according to a restoration plan prepared by a qualified plant ecologist. Construction within any riparian habitat shall not be conducted until all required federal, state and local permitting is approved and issued by those agencies with jurisdiction, (e.g. USACE, CDFG, NMFS, and USFWS). Best Management Practices shall be employed to reduce impacts to water quality.
62.
Prior to approval of building permits for any improvements in the vicinity of the Perfumo Creek eucalyptus grove and Madonna Road eucalyptus stand a qualified biologist shall survey the eucalyptus grove on the Dalidio Property. The purpose of the survey shall be to identify trees whose health status would pose a risk to the health and safety of residents, employees, or people present within the development or open space areas. Based on the results of this survey a tree-thinning program shall be created, which provides for the thinning or maintenance of the unhealthily trees that are not to be removed. No thinning activities shall occur that conflict with the previous or following mitigation measures in this document regarding time constraints on construction activities and/or sensitive species utilizing these trees.
63.
Building permit application plans shall include the following information:
(a)
The locations of all existing trees, noting location, species, diameter, and condition;
(b)
Note whether existing trees will be retained, removed, or relocated; and
(c)
The location of proposed utilities, driveways, street tree locations, and the size and species of proposed street trees.
(d)
A landscaping plan which shows the size and species of all trees proposed to be planted in the project.
64.
Landscape plans submitted for building permit approval shall include provisions for any relevant construction setbacks from trees; construction fencing around trees; grading limits around the base of trees as required; and a Replacement Plan for trees removed including replacement at a minimum 1:1 ratio.
65.
Proposed site disturbances shall be set back at least 35 feet from Perfumo Creek and 20 feet from the drainage channel on the Dalidio property as measured from the top of bank or from the edge of the predominant pattern of riparian vegetation, whichever is farther from the creek's flowline.
66.
The location of top of bank and of riparian vegetation shall be shown on all project plans.
67.
If wetlands and/or riparian habitat are subject to permitting or consultation with public agencies, such as USFWS, CDFG, or NMFS, required setbacks or conditions regarding wetlands and riparian habitat shall be observed.
68.
If wetlands and/or riparian habitat are removed for project development, the following shall apply:
The applicant shall submit a Mitigation Plan for areas of disturbance to wetlands and/or riparian habitat. The plan shall be designed by a biologist familiar with restoration and mitigation techniques. Restoration and mitigation shall be with locally occurring native species at a ratio of 1:1 for riparian habitat and 2:1 for delineated wetland habitat. The plan shall include, but not be limited to the following components:
(a)
Performance criteria (i.e.: what is an acceptable success level of revegetation to mitigate past impacts);
(b)
Monitoring effort (who is to check on the success of the revegetation plan, how frequently);
(c)
Contingency planning (if the effort fails to reach the performance criteria, what remediation steps need to be taken);
(d)
Irrigation method/schedule for wetland elements (how much water is needed where and for how long); and
(e)
Provisions for the removal of non-native invasive species (including details regarding the type and use of herbicides in and near aquatic habitat and sensitive species).
69.
Access for agricultural equipment shall be provided to any undeveloped agricultural lands. Curbing shall be designed or cut to provide wide "driveway - like" access to the cropland for all farm equipment.
70.
Irrigation water sources and infrastructure shall be provided to any undeveloped lands used for agriculture purposes.
71.
Reasonable buffers between urban and agricultural uses that do not interfere with the proposed development shall be incorporated into the design of the Dalidio Ranch, and other urban uses on the Dalidio property. Agricultural buffers can include non-habitable structures, roadways, parking, landscaped areas, and non-habitable buildings. The site plan depicted in Attachment D incorporates reasonable buffers as intended by this section.
72.
Foreground Views of Madonna Road. As thinning of the eucalyptus groves occurs, for every tree removed the applicant shall replace the tree on a 1:1. As feasible, the replacement trees shall be placed in an area where they will continue to screen the proposed development from existing views.
73.
Foreground Views from U.S. Highway 101. At the time of occupancy, planted landscaping shall assist to screen views of structures in a reasonable manner. All failed species shall be replaced within one month. Screening ratio and landscape vegetation health shall be achieved under the supervision of a qualified arborist.
74.
The applicant shall design buildings to conceal rooftop equipment. The plans shall depict precise cross-sections and sightline indicators to assure that the rooftop equipment will not be visible from surrounding locations.
75.
Areas within commercial development for outdoor storage, truck parking, trash collection, or loading shall not be visible from abutting streets. Such facilities shall be thematically incorporated into the overall site design, and non-enclosed areas shall be permanently defined and screened with walls and/or fences. Materials, colors and design of screening walls shall conform to those used as predominant materials and colors on the buildings.
76.
All lighting fixtures in customer parking and rear loading areas that are visible from surrounding residences shall be designed to fully contain glare on-site. All lighting poles shall be hooded, shielded, and located to direct light pools downward and prevent glare on the nearby residential lots. Non-glare lighting shall be used throughout the proposed project. Search lights and strobe lights shall be prohibited.
77.
All windows shall be of low-glare specification. Paint used for exterior facades shall be of low-reflectivity. Metal surfaces shall be blush-polished, and not highly reflective.
78.
Building and parking lots designs shall minimize automobile and parking lot lights from spilling over the existing exterior property lines. This may include, but is not limited to, the use of mature trees throughout the site. It should be noted that mature trees often grow more slowly than smaller more vigorous trees, and that the younger trees often overtake the larger trees within a matter of years. Therefore, it is recommended that a mix of mature and immature trees be planted as part of the buffering methods.
79.
Exterior wall surfaces that face public viewing corridors, such as U.S. Highway 101, Los Osos Valley Road, and Madonna Road, shall consist of materials and colors that will not produce any greater glare than that produced by comparable surrounding structures.
80.
The applicant shall use reclaimed wastewater generated from the wastewater treatment facility for on-site landscaping to the extent reclaimed wastewater is available and is feasible. During periods where demand exceeds reclaimed water supplies, on-site water wells shall provide supplemental irrigation water.
81.
A Utility Relocation Plan shall be prepared by the applicant. The Utility Relocation Plan shall identify all existing and proposed water lines, sewer lines, telephone, cable, gas, electric or other services located on the project site. The applicant shall coordinate with any affected agencies as part of the design process. The Utility Relocation Plan shall specify the phasing and scheduling of utility relocations to ensure minimal disruption between removal/relocation of existing utility lines and the installation of new lines.
82.
During construction underground utility alert services shall be used to identify the location of all underground services and to avoid the unplanned disruption of pipes or service lines.
83.
A construction period public outreach and communications plan and program shall be developed by the applicant for all phases of the project. Periodic assessments of upcoming utility and service disruptions shall be undertaken by the applicant or authorized agents thereof. These assessments and an identification of the affected service areas shall be coordinated with the public outreach program. The public outreach program shall ensure that advance notice for any utility or service disruption is extended to affected businesses and residents.
84.
Construction Solid Waste Minimization. During the construction phases of the project, the following mitigation measures will be implemented to reduce solid waste generation to the maximum extent feasible:
(a)
Prior to construction, the contractor will arrange for construction recycling service with a waste collection provider. Roll-off bins for the collection of recoverable construction materials will be located onsite. The applicant, or authorized agent thereof, shall arrange for pickup of recycled materials with a waste collection provider or shall transport recycled materials to the appropriate service center. Wood, concrete, drywall, metal, cardboard, asphalt, soil, and land clearing debris may all be recycled.
(b)
The contractor will designate a person to monitor recycling efforts and to collect receipts for roll-off bins and/or construction waste recycling. All subcontractors will be informed of the recycling plan, including which materials are to be source-separated and placed in proper bins.
(c)
The contractor will use recycled materials in construction wherever feasible.
The above construction waste recycling measures will be incorporated into the construction specifications for the contractor.
85.
The project applicant or authorized agent thereof shall provide tenants with educational material regarding appropriate waste management efforts upon occupancy and transfer of ownership. The design of the proposed buildings and facilities shall include provision of adequate space and capacity for recycling containers.
86.
The Dalidio Ranch house, barn and race track shall be subject to historic documentation by a qualified historian prior to their relocation. The structures shall be photographed and recorded consistent with professional historical standards. Associated farmhouse complex structures including the water tower, garage, large equipment storage building, small shed/bunkhouse and bungalow shall also be photo documented to provide a record of the Dalidio Ranch complex. A copy of the historic farmhouse documentation shall be provided to the San Luis Obispo Historical Society.
87.
A qualified historic architect with experience in relocation of historic structures shall be consulted during plans for relocation of the Dalidio Ranch house, barn, and race track to ensure that significant historic materials and fabric are retained and reconstructed appropriately.
88.
Areas adjacent to the U.S. Highway 101 frontage, including the proposed extension of Calle Joaquin and Fanner's Market, shall be surveyed by a qualified historic archaeologist. If any potentially significant remains are identified they shall be recorded consistent with state historical standards.
89.
At the commencement of project construction, all workers associated with earth disturbing procedures shall be given an orientation regarding the possibility of exposing unexpected cultural remains by an archaeologist and directed as to what steps are to be taken if such a find is encountered.
90.
In the event that archaeological and historic artifacts are encountered during project construction, all work in the vicinity of the find will be halted until such time as the find is evaluated by a qualified archaeologist and appropriate mitigation (e.g., curation, preservation in place, etc.), if necessary, is implemented. After the find has been appropriately mitigated, work in the area may resume.
In the event of the accidental discovery or recognition of any human remains in any location other than a dedicated cemetery, the following steps will be taken:
(a)
There shall be no further excavation or disturbance of the site or any nearby area reasonably suspected to overlie adjacent human remains until:
(i)
The coroner of the county in which the remains are discovered must be contacted to determine that no investigation of the cause of death is required, and
(ii)
If the coroner determines the remains to be Native American:
(A)
The coroner has 24 hours to notify the Native American Heritage Commission.
(B)
The Native American Heritage Commission shall identify the person or persons it believes to be most likely descended from the deceased Native American.
(C)
The most likely descendent may make recommendations to the landowner or the person responsible for the excavation work, for means of treating or disposing of, with appropriate dignity, the human remains and any associated grave goods as provided in Public Resources Code Section 5097.98.
(b)
The landowner or his authorized representatives shall relocate the Native American human remains and associated grave items with appropriate dignity on the property in a location not subject to further subsurface disturbance. Prior to relocation the landowner shall consult with a suitable representative. To do so; the Native American Heritage Commission shall be requested to identify a most likely descendant. If the Commission is unable to identify a most likely descendent or the most likely descendant fails to make a recommendation within 24 hours after being notified by the Commission then a Chumash representative shall be consulted. If the landowner or his authorized representative rejects the recommendation of the descendent representative, and the mediation by the Native American Heritage Commission fails to provide measures acceptable to the landowner, then the landowner may relocate the remains in its discretion.
If human remains are unearthed, State Health and Safety Code Section 7050.5 requires that no further disturbance of the site or any nearby area reasonably suspected to overlie adjacent human remains shall occur until the County Coroner has made the necessary findings as to origin and disposition pursuant to Public Resources Code Section 5097.98. If the remains are determined to be of Native American descent, the coroner has 24 hours to notify the Native American Heritage Commission.
91.
Pedestrian Access to Commercial Center. All commercial buildings that abut a public street should have an entrance onto the street or provide a continuous sidewalk from the street to the main entrance of the building. The project shall provide explicit and clear pedestrian connection from its commercial retail component to the commercial retail development immediately north with safe and visually prominent street crossings.
92.
Avigation easements, which provide important disclosure information to prospective buyers and lessees, shall be required. Easements shall be in the generally applicable form approved by the County of San Luis Obispo, if any, (per Part 150, Airport Compatibility Planning, of the Federal Aviation Regulations) which stipulates that commercial and office property on the site would be exposed to aircraft noise, and provides legal protection to the airport, City and County against noise lawsuits. These easements hall also grant the airport the right to maintain the safety of airspace, including the right to clear ally obstructions into that airspace.
93.
In accordance with state law, the seller or lessor of property within the project site shall disclose to potential buyers or lessees that aircraft overflights occur, and that such flights may result in periodic increases in noise levels within the area.
94.
Buildings within the project area shall incorporate non-reflective roofing material and roof-mounted equipment in order to minimize glare impacts to passing aircraft.
[Article amended 2014 Ord. 3256 - modified from Article 9.5 to Article 11 - no text changes; 2014, Ord. 3282]