01 - Generally.
This Ordinance was adopted by the City Council of Warren by authority of Act 207 of the Public Acts of Michigan, 1921 [MCL 125.581 et seq.], as amended, at a meeting thereof duly called and held on the 21st day of July, 1960 and ordered to be given publication in the manner prescribed by law.

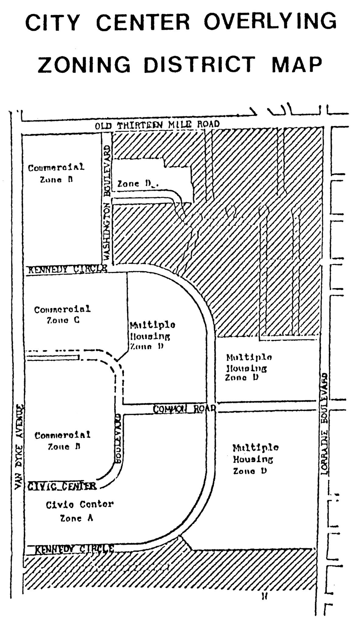
City Center Overlying Zoning District Map

Village Historic District Map
01 - Generally.
This Ordinance was adopted by the City Council of Warren by authority of Act 207 of the Public Acts of Michigan, 1921 [MCL 125.581 et seq.], as amended, at a meeting thereof duly called and held on the 21st day of July, 1960 and ordered to be given publication in the manner prescribed by law.

City Center Overlying Zoning District Map

Village Historic District Map