Sec. 200. The following rules of construction apply to the text of this Ordinance:
1.
The particular shall control the general.
2.
In the case of any difference of meaning or implication between the text of this Ordinance and any caption or illustration, the text shall control.
3.
The word "shall" is always mandatory and not discretionary. The word "may" is permissive.
4.
Words used in the present tense shall include the future; and words used in the singular number shall include the plural, and the plural the singular, unless the context clearly indicates the contrary.
5.
A "building" or "structure" includes any part thereof.
6.
The phrase "used for" includes "arranged for," "designed for," "intended for," "maintained for," or "occupied for."
7.
The word "person" includes an individual, a corporation, a partnership, an incorporated association, or any other similar entity.
8.
Unless the context clearly indicates the contrary, where a regulation involves two or more items, conditions, provisions, or events connected by the conjunction "and," "or," "either … or," the conjunction shall be interpreted as follows:
a.
"And" indicates that all the connected items, conditions, provisions or events shall apply.
b.
"Or" indicates that the connected items, conditions, provisions, or events may apply singly or in any combination.
c.
"Either … or" indicates that the connected items, conditions, provisions or events shall apply singly but not in combination.
9.
Terms not herein defined shall have the meaning customarily assigned to them.
Sec. 201. Accessory use, or accessory. A use which is clearly incidental to, customarily found in connection with, and located on the same zoning lot, unless otherwise specified, as the principal use to which it is related.
When "accessory" is used in this text, it shall have the same meaning as accessory use.
An accessory use includes, but is not limited to, the following:
1.
Residential accommodations for servants and/or caretakers.
2.
Swimming pools for the use of the occupants of a residence, or their guest.
3.
Domestic or agricultural storage in a barn, shed, tool room, or similar accessory building or other structure.
4.
A newsstand primarily for the convenience of the occupants of a building, which is located wholly within such building and has no exterior signs or displays.
5.
Storage of merchandise normally carried in stock used in or produced in connection with a business or industrial use, unless such storage is excluded in the applicable district regulations.
6.
Accessory off-street parking spaces, open or enclosed, subject to the accessory off-street parking regulations for the district in which the zoning lot is located.
7.
Uses clearly incidental to a main use such as but not limited to: offices of an industrial or commercial complex located on the site of the commercial or industrial complex.
8.
Accessory off-street loading, subject to the off-street loading regulations for the district in which the zoning lot is located.
9.
Accessory signs, subject to the sign regulations for the district in which the zoning lot is located.
10.
A child care center, if sited on the premises of an operating community service activity such as, but not limited to, a school, place of worship, community center, or library and associated with that activity, subject to the sign regulations for the district in which the use is located and registration of the use with the Township Clerk. Registration will require proof of state licensing.
Adult foster care facility. This term is as it is defined by the "Adult Foster Care Facility Licensing Act", (Act 218 of the Public Acts of 1979), or any succeeding Act in substantially similar form, which initially means a governmental or nongovernmental establishment having as its principal function the receiving of adults for foster care. It includes facilities and foster care family homes for adults who are aged, emotionally disturbed, developmentally disabled, or physically handicapped to require supervision on an ongoing basis but who do not require continuous nursing care.
Adult foster care facility for the aged. An adult foster care facility used exclusively for the foster care of the aged, and not for other adults receiving foster care, such as emotionally disturbed, developmentally disabled, or physically handicapped adults. The term "Aged" means as that term is defined by the "Adult Foster Care Facility Licensing Act", (Act 218 of the Public Acts of 1979), or any succeeding Act in substantially similar form, which initially means an adult whose chronological age is 60 years of age or older or whose biological age, as determined by a physician, is 60 years of age or older.
Aerobic decomposition conditions. Presence of sufficient oxygen for conversion of organic matter into carbon dioxide gas, water, and heat, while nitrogen complexes are converted into nitrates, producing a smell similar to fresh soil or woodland.
Agricultural use. Any land or building used for a purpose of producing grain, orchards, nurseries, dairying, vegetables, livestock or fowl, or other crops and animal husbandry.
Aircraft. Any fixed or rotary wing type aircraft capable of horizontal or vertical take-off and landing profiles, including, but not limited to, airplanes, jets, helicopters, ultralight aircraft, balloons, or gliders.
Airport. Any airport, airfield, heliport, helistop, vertiport, gliderport, seaplane base, ultralight flight park, balloon launch facility or other aircraft landing or take-off area intended for use or actually used by aircraft, or an area which provides facilities for the shelter, repair, supply or care of aircraft.
Alley. Any dedicated public way which affords only a secondary means of access to abutting property, and not intended for general traffic circulation.
Alterations. Any change, addition, or modification in construction or type of occupancy, or in the structural members of a building, such as walls or partitions, columns, beams or girders, the consummated act of which may be referred to herein as "altered" or "reconstructed."
Anaerobic decomposition conditions. Presence of insufficient oxygen allowing the conversion of organic matter into carbon dioxide gas, methane gas, various alcohols, and volatile fatty acids (VFAs). Nitrogen complexes are converted to ammonia (gas) and sulfur compounds are converted to hydrogen sulfide gas, producing offensive odors similar to ammonia, rotten eggs, and rotting garbage/dead animal.
Apartments. A suite of rooms or a room in a multiple-family building arranged and intended for a place of residence of a single-family or a group of individuals living together as a single housekeeping unit.
Automobile repair. The general repair, engine rebuilding, rebuilding or reconditioning of motor vehicles; collision service, such as body, frame, or fender straightening and repair; overall painting and undercoating of automobiles.
Banquet hall. A commercial service establishment for the purpose of catering banquets, weddings, receptions and similar functions for which food and beverages are prepared and served on the premises, but not including a catering establishment.
Basement. That portion of a building which is partly or wholly below grade but so located that
the vertical distance from the average grade to the floor is greater than the vertical
distance from the average grade to the ceiling. A basement shall not be counted as
a story.

BASEMENT & STORY
Block. The property abutting one side of a street and lying between the two nearest intersecting streets, (crossing or terminating) or between the nearest such street and railroad right-of-way, unsubdivided acreage, lake, river or live stream; or between any of the foregoing and any other barrier to the continuity of development, or boundary lines of the Township.
Brewpub. Means a brewer/facility that may manufacture and brew not more than 9,000 barrels of beer per calendar year in conjunction with a class C, tavern, class A hotel, or class B hotel license and which also shall be licensed as a food service establishment under the Michigan food law, being Public Act 92 of 2000, as amended (MCL 289.1101 to 289.8111).
Building. Any structure, either temporary or permanent, having a roof supported by columns or walls, and intended for the shelter, or enclosure of persons, animals, chattels, or property of any kind.
Building height. The vertical distance measured from the established grade to the highest point of the roof surface for flat roofs; to the deck line of mansard roofs; and to the average height between eaves and ridge for gable, hip, and gambrel roofs.
Building line. A line formed by the face of the building, and for the purposes of this Ordinance, a minimum building line is the same as a front setback line.
Catering establishment. A commercial service establishment in which food and beverages are prepared for consumption off the premises and not served to customers on the premises or through a take out service.
Child care center. A facility, other than a private residence, receiving one or more preschool or school-age children for care for periods less than 24 hours a day, and where the parents or guardians are not immediately available to the child, including a facility which provides care for not less than two consecutive weeks, regardless of the number of hours of care per day. The term includes any facility referred to as a day care center, day nursery, nursery school, drop-in center, or parent cooperative preschool. A child care center does not include a Sunday school, vacation bible school, or religious instructional class operated by a religious organization where children are in attendance for not greater than three hours per day for a indefinite period or not greater than eight hours per day for a period not to exceed four weeks during a 12-month period.
Club. An organization of persons for special purposes or for the promulgation of agriculture, sports, arts, sciences, literature, politics, or the like, but not operated for profit.
Common open space. A parcel or parcels of land or an area of water or a combination of land and water within the site designated for a planned residential development and designed and intended for use or enjoyment of all the residents of such planned residential development. Common open space may contain such complementary structures and improvements as are necessary and appropriate for the benefit and enjoyment of all the residents, including common club houses, pools, tennis courts, and similar facilities, but shall not include (a) areas reserved for the exclusive use or benefit of an individual tenant or owner, such as fenced yards or private residential yards, (b) dedicated streets, alleys, and other public right-of-ways, (c) vehicular drives, parking, loading and storage areas, or (d) areas reserved for nonresidential uses.
Common use area. That portion of a building or of a parcel of land in private ownership designed and intended to enable all of the residents of a planned residential development or the residents of designated units within a planned residential development to use and enjoy their respective individual units therein, including such features as vehicular drives, parking and storage areas, access ways, and corridors, stairs, elevators, and utility and storage rooms in multiple dwellings.
Compost. A stabilized organic product produced by a controlled aerobic decomposition process that can be used as a soil additive, fertilizer, growth media, or other beneficial use.
Composting. The accelerated biological decomposition of organic matter under managed aerobic conditions resulting in compost.
Composting facility. Means a facility where composting of yard clippings occurs using mechanical handling techniques such as physical turning, windrowing, or aeriation or using other management techniques.
Convalescent or nursing home. A structure with sleeping rooms where persons are housed or lodged and are furnished with meals and nursing or limited medical care.
Development. The construction of a new building or other structure on a zoning lot, the relocation of an existing building on another zoning lot, or the use of open land for a new use.
District. A portion of the unincorporated area of the Township within which certain regulations and requirements or various combinations thereof apply under the provisions of this Ordinance.
Drive-in. A business establishment so developed that its retail or service character is dependent on providing a driveway approach or parking spaces for motor vehicles so as to serve patrons while in the motor vehicle rather than within a building or structure.
Drive-in restaurant. A restaurant so developed that its retail or service character is primarily dependent on providing a driveway approach or parking spaces for motor vehicles so as to serve patrons while in the motor vehicle or to permit patrons to eat while in the motor vehicle, as well as within a building or structure, or primarily to provide self-service for patrons and food carry-out.
Driveway or private driveway. Any open space unoccupied and essentially unobstructed from the ground to the sky that is on privately owned and maintained property which is not open or normally used by the public, and which is used for vehicular access to a lawfully opened, used and developed public or private road.
Dwelling unit. A building, or portion thereof, designed for occupancy by one family for residential purposes and having cooking facilities and necessary sanitary facilities solely designed for use by that family.
Dwelling unit, manufactured. A dwelling unit which is substantially built, constructed, assembled, and finished off the premises upon which it is intended to be located. This definition shall include: a mobile home located outside a mobile home park, as well as a dwelling unit that is transported to the site in modular form for final assembly on the site.
Dwelling unit, site built. A dwelling unit which is substantially built, constructed, assembled and finished on the premises which is intended to serve as its final location. Site built dwelling units shall include dwelling units constructed of pre-cut materials, and panalized wall, roof and door sections when such sections require substantial assembly and finishing on the premises which are intended to serve as its final location.
Dwelling, one-family. A building designed exclusively for and occupied exclusively by one family.
Dwelling, two-family. A building designed exclusively for occupancy by two families living independently of each other.
Dwelling, multiple-family. A building, or a portion thereof, designed exclusively for occupancy by three or more families living independently of each other.
Employer-sponsored child care center. A facility receiving one or more preschool or school-age children for care for periods less than 24 hours a day, and where the parents or guardians are not immediately available to that child, including a facility which provides care for not less than two consecutive weeks, regardless of the number of hours of care per day. Such facility shall be accessory to the principal use of the premise and enrollment at the facility shall be limited to children that are in the legal guardianship of an employee of the principal use.
Erected. Built, constructed, altered, reconstructed, moved upon or any physical operations on the premises which are required for construction, excavation, fill, drainage, and the like, shall be considered a part of erection.
Essential services. The erection, construction, alteration or maintenance by public utilities or municipal departments of underground, surface, or overhead gas, electrical, steam, fuel or water transmission or distribution systems, collection, communication, supply or disposal systems, including poles, wires, mains, drains, sewers, pipes, conduits, cables, fire alarm and police call boxes, traffic signals and hydrants in connection herewith, but not including building which are necessary for the furnishing of adequate service by such utilities or municipal departments for the general health, safety or welfare.
Excavation. Any breaking of ground, except common household gardening and ground care.
Exception. A use permitted only after review of an application by the Board of Appeals or Township Board or a modification in the standards of this Ordinance specifically permitted after review by the Board of Appeals, Planning Commission or Township Board; such review being necessary because the provisions of this Ordinance covering conditions precedent or subsequent are not precise enough to all applications without interpretation and such review and exception is provided for by this Ordinance. An exception is not a variance.
Family. One or two persons or parents, with their direct lineal descendants and adopted or foster children (and including the domestic employees thereof) together with not more than three persons not so related, living together in the whole or part of a dwelling comprising a single housekeeping unit. Every additional group of two or less persons living in such housekeeping unit shall be considered a separate family for purposes of this Ordinance.
Family day care home. A private home in which one but less than seven minor children are received for care and supervision for periods less than 24 hours a day, unattended by a parent or guardian, except children related to an adult member of the family by blood, marriage, or adoption, including a home that gives care to an unrelated child for more than four weeks during a calendar year.
Farm. The carrying on of any agricultural use or the raising of livestock or small animals as a source of income.
Fence. An artificially constructed barrier of any material, or combination of materials, erected to enclose, screen or separate areas.
Fence, decorative. A fence constructed of an ornamental material such as wrought iron, simulated wrought iron, brick or stone, or embellished wood picket fences or split rail fences. Ornamental fences do not include chain link fences, with or without woven slats, or wood stockade-style fences.
Fenestration. The design and placement of windows and other openings in a building or structure.
Floor area, residential. For the purpose of computing the minimum allowable floor area in a residential dwelling unit, the sum of the horizontal areas of each story of the building shall be measured from the exterior faces of the exterior walls or from the centerline of walls separating two dwellings. The floor area measurement is exclusive of areas of basements, unfinished attics, attached garages, breezeways, and enclosed and unenclosed porches.
Floor area, usable (for the purposes of computing parking). That area used for or intended to be used for the sale of merchandise or services,
or for use to serve patrons, clients, or customers. Such floor area which is used
or intended to be used principally for the storage or processing of merchandise, hallways,
or for utilities or sanitary facilities, shall be excluded from this computation of
"Usable Floor Area." Measurement of usable floor area shall be the sum of the horizontal
areas of the several floors of the building, measured from the interior faces of the
exterior walls.

FLOOR AREA
Frontage. The full length of a parcel or lot, or other plot of land, measured alongside the front lot line, which must be continuous and uninterrupted, and located on only one road or street. Frontage may not be measured along two or more roads or streets on a corner lot or through lot. Frontage may not be measured along two or more portions of a front lot line that are separated by antoher parcel or lot.
Garage, private. An accessory building or portion of a main building designed or used solely for the storage of motor-driven vehicles, boats, and similar vehicles owned and used by the occupants of the building to which it is accessory.
Garage, service. Any premises used for the storage or care of motor-driven vehicles, or where any such vehicles are equipped for operation, repaired, or kept for remuneration, hire or sale.
Gasoline service station. A place for the dispensing, sale or offering for sale of motor fuels directly to users of motor vehicles, together with the sale of minor accessories and services for motor vehicles, but not including major automobile repair.
Grade. The ground elevation established for the purpose of regulating the number of stories and the height of buildings. The building grade shall be the level of the ground adjacent to the walls of the building if the finished grade is level. If the ground is not entirely level, the grade shall be determined by averaging the elevation of the ground for each face of the building.
Group day care home. A private home in which six but not more than 12 minor children are received for care and supervision for periods less than 24 hours a day, unattended by a parent or guardian, except children related to an adult member of the family by blood, marriage, or adoption, including a home that gives care to an unrelated child for more than four weeks during a calendar year.
Home occupation. An occupation allowed as an accessory use incident to a dwelling unit under Section 1924 [Section 400.1924], conducted entirely within a dwelling unit, carried on by the immediate family members inhabiting the dwelling unit, and which is clearly incidental and secondary to the primary use of the dwelling unit for dwelling purposes.
Hotel. A building or part of a building, with a common entrance or entrances, in which the dwelling units or rooming units are used primarily for transient occupancy, and in which one or more of the following services are offered: maid service, furnishing of linen, telephone, secretarial, or desk service, and bellboy service. A hotel may include a restaurant or cocktail lounge, public banquet halls, ballrooms, or meeting rooms.
Housing for the elderly. Three or more living units within a building or buildings restricted to and especially for the use and occupancy of elderly persons, married or single, one occupant of which is 55 years of age or older for each living unit and which complies with all of the federal and state regulations relating to housing for elderly persons including, but not limited to, the Fair Housing Act, 42 USC § 3604, et seq. (or its successor), and the Michigan Elliot Larsen Civil Rights Act, MCL § 37.2101, et seq. (or its successor).
Junk yard. An area where waste, used or secondhand materials are bought and sold, exchanged, stored, baled, packed, disassembled, or handled including but not limited to: scrap iron and other metals, paper, rags, rubber tires, and bottles. A "Junk Yard" includes automobiles wrecking yards and includes any open area of more than 200 square feet for storage, keeping or abandonment of junk.
Kennel, commercial. Any lot, establishment, facility, or premises wherein or whereon three or more dogs, cats, or other household pets are confined, raised, or kept for sale, boarding, breeding, leasing, trading, or training purposes, for remuneration, except a duly licensed pet shop. A commercial kennel is a kennel licensed, or subject to licensing by the Animal Control Division of the Monroe County Board of Health.
Kennel, private. Any lot, establishment, facility, or premises wherein or whereon four or more dogs, cats, or other household pets, (except those excluded herein), six months or more old, are maintained, harbored, kept, confined, raised, lodged, fed, or allowed to remain, but not a commercial kennel or a duly licensed pet shop. A private kennel is not a kennel licensed, or subject to licensing by the Animal Control Division of the Monroe County Board of Health. Specifically excluded from this definition are those small animals or fish commonly kept as pets and which are exclusively housed and kept indoors, such as fish, hamsters, gerbils, canaries, and the like.
Living unit. A building or portion thereof, designed for occupancy by one person or one family for residential purposes which may or may not have cooking facilities.
Loading space. An off-street space on the same lot with a building, or group of buildings, for the temporary parking of a commercial vehicle while loading and unloading merchandise or materials.
Lot. A parcel of land occupied, or intended to be occupied, by a main building or a group of such buildings and accessory building, or utilized for the principal use and uses accessory thereto, together with such yards and open spaces as are required under the provisions of this Ordinance. A lot may or may not be specifically designated as such on public records.
Lot, corner. A lot where the interior angle of two adjacent sides at the intersection of two streets is less than 135 degrees. A lot abutting upon a curved street or streets shall be considered a corner lot for the purposes of this Ordinance if the arc is of less radius than 150 and the tangents to the curve, at the two points where the lot lines meet the curve or the straight street line extended, form an interior angle of less than 135 degrees.
Lot, interior. Any lot other than a corner lot.
Lot, through. Any interior lot having frontage on two more or less parallel streets as distinguished from a corner lot. In the case of a row of double frontage lots, all yards of said lots adjacent to streets shall be considered frontage, and front yard setbacks shall be provided as required.
Lot, zoning. A single tract of land, located within a single block, which, at the time of filing for a building permit, is designated by its owner or developer as a tract to be used, developed, or built upon as a unit, under single ownership or control. A zoning lot shall satisfy this Ordinance with respect to area, size, dimensions, and frontage as required in the district in which the zoning lot is located. A zoning lot, therefore, may not coincide with a lot of record as filed with the County Register of Deeds, but may include one or more lots of record.
Lot area. The total horizontal area within the lot lines of the lot.
Lot coverage. The part or percent of the lot occupied by buildings including accessory buildings.
Lot depth. The horizontal distance between the front and rear lot lines, measured along the median between the side lot lines.
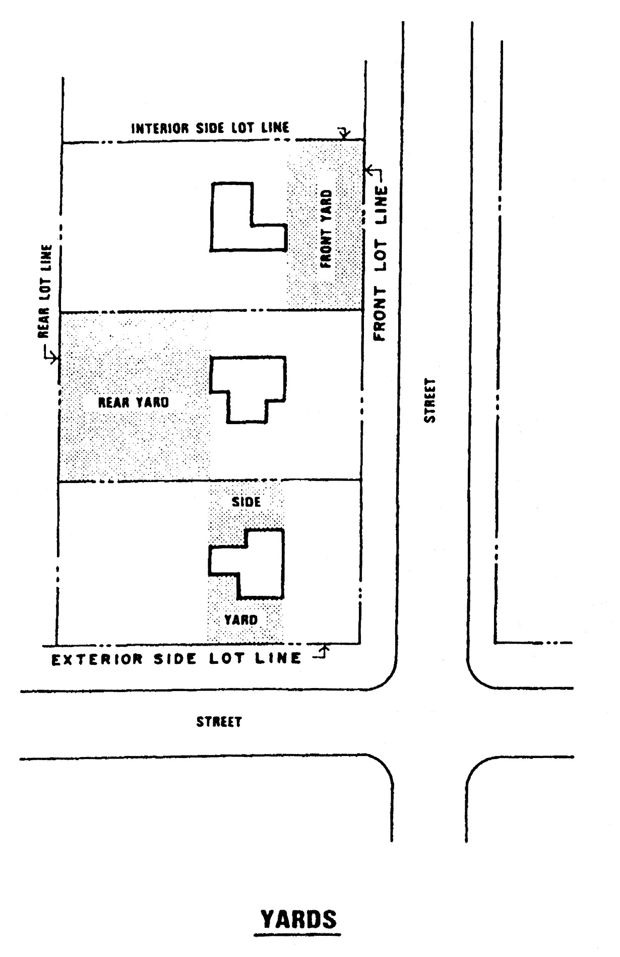
Lot lines. The lines bounding a lot as defined herein:
a.
Front Lot Line: In the case of an interior lot, is that line separating said lot from the street. In the case of a through lot, is that line separating said lot from either street. In the case of a corner lot, is that line separating said lot from that street which is designated as the front street in the plat or the request for zoning compliance permit.
b.
Rear Lot Line: That lot line opposite the front lot line. In the case of a lot pointed at the rear, the rear lot line shall be an imaginary line parallel to the front lot line, not less than ten feet long lying farthest from the front lot line and wholly within the lot.
c.
Side Lot Line: Any lot line other than the front lot line or rear lot line. A side lot line separating a lot from a street is a side street lot line. A side lot line separating a lot from another lot or lots is an interior side lot line.
Lot of record. A parcel of land, the dimensions of which are shown on a document or map on file with the County Register of Deeds or in common use by Township or County Officials, and which actually exists as so shown, or any part of such parcel held in a record ownership separate from that of the remainder thereof.
Lot width. The horizontal straight line distance between the side lot lines, measured between the two points where the front setback line intersects the side lot lines.
Main building. A building in which is conducted the principal use of the lot upon which it is situated.
Major thoroughfare. An arterial street which is intended to serve as a large volume trafficway for both the immediate Township area and the region beyond, and is designated as a major thoroughfare, parkway, freeway, expressway, or equivalent term on the Major Thoroughfare Plan to identify those streets comprising the basic road structure of the Master Plan.
Master plan. The Master Plan for Future Land Use including graphic and written proposals indicating the general location for streets, parks, schools, public buildings, and all physical development of the Township, and includes any unit or part of such plan, and any amendment to such plan or parts thereof.
Mezzanine. An intermediate floor in any story occupying not to exceed one-third of the floor area of such story.
Microbrewery. Means a brewer/facility that produces in total less than 30,000 barrels of beer per year. It may include a tasting room, restaurant, and retail space for on and off-site consumption. All microbrewery premises shall be licensed pursuant to and in conformance with the Michigan Liquor Control Code, Administrative Rules and Related laws.
Miniwarehouse. A building or group of buildings in a controlled access and fenced compound that contains individual, compartmentalized, and controlled access storage units, stalls or lockers, that may be of varying size, for the dead storage of customers' possessions, goods and wares, and where no utilities are provided except that lighting of individual storage units is permissible.
Mobile home. Any vehicle designed, or constructed so as to permit its being used as a conveyance upon the public streets or highways and constructed in such a manner as will permit occupancy thereof as a dwelling or sleeping place for one or more persons.
Mobile home park. A parcel or tract of land under the control of a person upon which two or more mobile homes are located on a continual nonrecreational basis and which is offered to the public for that purpose regardless of whether a charge is made therefore. Any ancillary building, structure, enclosure, street, equipment or facility located on said parcel or tract of land and used or intended for use incident to the occupancy of a mobile home shall be considered a part of the mobile home park.
Motel. A series of attached, semidetached or detached rental units containing a bedroom, bathroom and closet space. Units shall provide for overnight lodging and are offered to the public for compensation, and shall cater primarily to the public traveling by motor vehicle.
Municipality. The Township of Bedford, Michigan.
Nonconforming building. A building or portion thereof lawfully existing at the effective date of this Ordinance, or amendments thereto, and that does not conform to the provisions of the Ordinance in the district in which it is located.
Nonconforming use. A use which lawfully occupied a building or land at the effective date of this Ordinance, or amendments thereto, and that does not conform to the use regulations of the district in which it is located.
Nursery, plant materials. A space, building or structure, or combination thereof, for the storage of live trees, shrubs or plants offered for retail sale on the premises including products used for gardening or landscaping. The definition of nursery within the meaning of this Ordinance does not include any space, building or structure used for the sale of fruits, vegetables or Christmas trees.
Off-street parking lot. A facility providing vehicular parking spaces along with adequate drives and aisles, for maneuvering, so as to provide access for entrance and exit for the parking of more than three vehicles.
Parking space. An area of definite length and width, said area shall be exclusive of drives, aisles or entrances giving access thereto, and shall be fully accessible for the parking of permitted vehicles.
Places of Worship. A site used for or intended for the regular assembly of persons for the conducting of religious services and reasonably closely related activities or uses.
Pond. Any open and substantially earthen artificial, manmade, or natural impoundment of water created, altered, or enhanced by, any excavation, cutting, stripping, grading, digging, filling, removal, or movement of any soil matter or earth material, or by the installation of any dam, levy, or other retention device or structure which diverts the natural flow of water to or from an area thus creating, altering, or enhancing an impounded body of water.
Principal use. The main use to which the premises are devoted and the principal purpose for which the premises exist.
Public utility. A person, firm, or corporation, municipal department, board or commission duly authorized to furnish and furnishing under federal, state or municipal regulations to the public: gas, steam, electricity, sewage disposal, communication, telegraph, transportation or water.
Recreation Vehicle. A vehicle designed to be used primarily for recreational purposes, including but not limited to temporary sleeping quarters or cooking facilities, self-propelled motor homes, a unit designed to be attached to a vehicle and used for such purposes, including pick-up campers, travel trailers, pop up tent trailers, boats and boat trailers, floats and float trailers, utility trailers, snow mobile trailers, or other equipment similar in nature, provided any such vehicle or unit which is 40 feet or more in overall length shall be considered a mobile home and shall be subject to all regulations of this Ordinance applicable to mobile homes.
Road, private. A privately owned and maintained road, right-of-way or similar parcel of land essentially unobstructed from the ground to the sky, allowing vehicular access to more than one dwelling building, farm, office building, commercial building, industrial building, or place of business, or lot or parcel of land to be used for one of the above, which is normally open to the public and upon which persons other than the owners located thereon may also travel.
Road, public. A road, street, right-of-way, or similar parcel of land essentially unobstructed from the ground to the sky which is open to the public for purposes of vehicular travel and which has been dedicated, deeded, platted, set aside, provided for, or otherwise permanently appropriated to the public for public use, and which has been certified and accepted by the Monroe County Road Commission or the appropriate State or Federal highway authority.
Roadside stands. A roadside stand is a temporary or existing permanent building operated for the purpose of selling only agricultural products raised or produced on the same premises by the proprietor of the stand or his family.
Room. For the purpose of determining lot area requirements and density in a multiple-family district, a room is a living room, dining room or bedroom, equal to at least 80 square feet in area. A room shall not include the area in kitchen, sanitary facilities, utility provisions, corridors, hallways, and storage. Plans presented showing one, two or three bedroom units and including a "den," "library" or other extra room shall count such extra room as a bedroom for the purpose of computing density.
Setback. The distance required to obtain minimum front, side or rear yard open space provisions of this Ordinance. Setbacks from a public street shall be measured from existing right-of-way lines.
Sign. The use of any words, numerals, figures, devices, designs or trademarks by which anything is made known such as are used to show an individual, firm, profession, or business, and are visible to the general public.
Sign, accessory. A sign which is related to the principal use of the premises.
Sign, nonaccessory. A sign which is not related to the principal use of the premises.
Stable, private. Any lot or premises wherein or whereon a horse or horses are maintained, harbored, kept, confined, raised, lodged, fed, or allowed to remain, which are exclusively owned and used by a person living at the lot or premises, but not a public stable.
Stable, public. Any lot or premises wherein or whereon a horse or horses are maintained, harbored, kept, confined, raised, lodged, fed, or allowed to remain, for sale, public show, boarding, breeding, leasing, trading, training, riding, or some similar purpose, for remuneration, or which is a stable that is not a private stable.
Story. That part of a building, except a mezzanine as defined herein, included between the surface of one floor and the surface of the next floor, or if there is no floor above, then the ceiling next above. A basement shall not be counted as a story.
Street. A dedicated public right-of-way, other than an alley, which affords the principal means of access to abutting property.
Structure. Anything constructed or erected, the use of which requires location on the ground or attachment to something having location on the ground.
Swimming pool. Any structure or container which is an assemblege of materials (i.e.: concrete, wood, plastic, vinyl, or masonry), permanent or temporary, portable or non-portable, above or below grade, capable of containing water to a depth of two feet or more measured from the deepest point.
Temporary use or building. A use or building permitted by the Board of Appeals to exist during a specified period of time.
Use. The principal purpose for which land or a building is arranged, designed or intended, or for which land or a building is or may be occupied.
Variance. A modification of the literal provisions of the Zoning Ordinance granted when strict enforcement of the Zoning Ordinance would cause undue hardship owing to circumstances unique to the individual property on which the variance is granted. The crucial points of variance are: (a) undue hardship, (b) unique circumstances, and (c) applying to property. A variance is not justified unless all three elements are present in the case. A variance is not an exception.
Wall, obscuring. A structure of definite height and location to serve as an obscuring screen in carrying out the requirements of this Ordinance.
Yard clippings. Means leaves, grass clippings, shrubbery, or brush or tree trimmings less than four feet in length and two inches in diameter, that can be converted to compost humus. Yard clippings does not include stumps, agricultural waste, animal waste, roots, sewage, garbage, or vegetable and other garden debris.
Yards. The open spaces on the same lot with a main building unoccupied and unobstructed from the ground upward except as otherwise provided in this Ordinance, and as defined herein:
a.
Front yard. An open space extending the full width of the lot, the depth of which is the minimum horizontal distance between the front lot line and the nearest point of the main building.
b.
Rear yard. An open space extending the full width of the lot, the depth of which is the minimum horizontal distance between the rear lot line and the nearest point of the main building. In the case of a corner lot, the rear yard may be opposite either street frontage.
c.
Side yard. An open space between a main building and the side lot line, extending from the front yard to the rear yard, the width of which is the horizontal distance from the nearest point on the side lot line to the nearest point of the main building.
(Ord. No. 44A-17, 7-10-79; Ord. No. 44A-28, 1-5-82; Ord. No. 44A-34, 12-21-82; Ord. No. 44A-55, 8-19-86; Ord. No. 44A-60, 1-6-87; Ord. No. 44A-91, 7-18-89; Ord. No. 44A-105, 12-18-90; Ord. No. 44A-107, 7-2-91; Ord. No. 44A-125, 4-5-94; Ord. No. 44A-141, 10-3-95; Ord. No. 44A-170, § 1, 5-19-98; Ord. No. 44A-176, § 1, 10-15-98; Ord. No. 44A-185, § 1, 6-1-99; Ord. No. 44A-215, 9-17-02; Ord. No. 44A-217, § 1, 10-15-02; Ord. No. 44A-265, 6-17-08; Ord. No. 44A-284, § 1, 5-14-13; Ord. No. 44A-312, § 1, 7-18-17; Ord. No. 44A-317, § 1, 11-14-17; Ord. No. 44A-318, § 1, 11-21-17)
Sec. 200. The following rules of construction apply to the text of this Ordinance:
1.
The particular shall control the general.
2.
In the case of any difference of meaning or implication between the text of this Ordinance and any caption or illustration, the text shall control.
3.
The word "shall" is always mandatory and not discretionary. The word "may" is permissive.
4.
Words used in the present tense shall include the future; and words used in the singular number shall include the plural, and the plural the singular, unless the context clearly indicates the contrary.
5.
A "building" or "structure" includes any part thereof.
6.
The phrase "used for" includes "arranged for," "designed for," "intended for," "maintained for," or "occupied for."
7.
The word "person" includes an individual, a corporation, a partnership, an incorporated association, or any other similar entity.
8.
Unless the context clearly indicates the contrary, where a regulation involves two or more items, conditions, provisions, or events connected by the conjunction "and," "or," "either … or," the conjunction shall be interpreted as follows:
a.
"And" indicates that all the connected items, conditions, provisions or events shall apply.
b.
"Or" indicates that the connected items, conditions, provisions, or events may apply singly or in any combination.
c.
"Either … or" indicates that the connected items, conditions, provisions or events shall apply singly but not in combination.
9.
Terms not herein defined shall have the meaning customarily assigned to them.
Sec. 201. Accessory use, or accessory. A use which is clearly incidental to, customarily found in connection with, and located on the same zoning lot, unless otherwise specified, as the principal use to which it is related.
When "accessory" is used in this text, it shall have the same meaning as accessory use.
An accessory use includes, but is not limited to, the following:
1.
Residential accommodations for servants and/or caretakers.
2.
Swimming pools for the use of the occupants of a residence, or their guest.
3.
Domestic or agricultural storage in a barn, shed, tool room, or similar accessory building or other structure.
4.
A newsstand primarily for the convenience of the occupants of a building, which is located wholly within such building and has no exterior signs or displays.
5.
Storage of merchandise normally carried in stock used in or produced in connection with a business or industrial use, unless such storage is excluded in the applicable district regulations.
6.
Accessory off-street parking spaces, open or enclosed, subject to the accessory off-street parking regulations for the district in which the zoning lot is located.
7.
Uses clearly incidental to a main use such as but not limited to: offices of an industrial or commercial complex located on the site of the commercial or industrial complex.
8.
Accessory off-street loading, subject to the off-street loading regulations for the district in which the zoning lot is located.
9.
Accessory signs, subject to the sign regulations for the district in which the zoning lot is located.
10.
A child care center, if sited on the premises of an operating community service activity such as, but not limited to, a school, place of worship, community center, or library and associated with that activity, subject to the sign regulations for the district in which the use is located and registration of the use with the Township Clerk. Registration will require proof of state licensing.
Adult foster care facility. This term is as it is defined by the "Adult Foster Care Facility Licensing Act", (Act 218 of the Public Acts of 1979), or any succeeding Act in substantially similar form, which initially means a governmental or nongovernmental establishment having as its principal function the receiving of adults for foster care. It includes facilities and foster care family homes for adults who are aged, emotionally disturbed, developmentally disabled, or physically handicapped to require supervision on an ongoing basis but who do not require continuous nursing care.
Adult foster care facility for the aged. An adult foster care facility used exclusively for the foster care of the aged, and not for other adults receiving foster care, such as emotionally disturbed, developmentally disabled, or physically handicapped adults. The term "Aged" means as that term is defined by the "Adult Foster Care Facility Licensing Act", (Act 218 of the Public Acts of 1979), or any succeeding Act in substantially similar form, which initially means an adult whose chronological age is 60 years of age or older or whose biological age, as determined by a physician, is 60 years of age or older.
Aerobic decomposition conditions. Presence of sufficient oxygen for conversion of organic matter into carbon dioxide gas, water, and heat, while nitrogen complexes are converted into nitrates, producing a smell similar to fresh soil or woodland.
Agricultural use. Any land or building used for a purpose of producing grain, orchards, nurseries, dairying, vegetables, livestock or fowl, or other crops and animal husbandry.
Aircraft. Any fixed or rotary wing type aircraft capable of horizontal or vertical take-off and landing profiles, including, but not limited to, airplanes, jets, helicopters, ultralight aircraft, balloons, or gliders.
Airport. Any airport, airfield, heliport, helistop, vertiport, gliderport, seaplane base, ultralight flight park, balloon launch facility or other aircraft landing or take-off area intended for use or actually used by aircraft, or an area which provides facilities for the shelter, repair, supply or care of aircraft.
Alley. Any dedicated public way which affords only a secondary means of access to abutting property, and not intended for general traffic circulation.
Alterations. Any change, addition, or modification in construction or type of occupancy, or in the structural members of a building, such as walls or partitions, columns, beams or girders, the consummated act of which may be referred to herein as "altered" or "reconstructed."
Anaerobic decomposition conditions. Presence of insufficient oxygen allowing the conversion of organic matter into carbon dioxide gas, methane gas, various alcohols, and volatile fatty acids (VFAs). Nitrogen complexes are converted to ammonia (gas) and sulfur compounds are converted to hydrogen sulfide gas, producing offensive odors similar to ammonia, rotten eggs, and rotting garbage/dead animal.
Apartments. A suite of rooms or a room in a multiple-family building arranged and intended for a place of residence of a single-family or a group of individuals living together as a single housekeeping unit.
Automobile repair. The general repair, engine rebuilding, rebuilding or reconditioning of motor vehicles; collision service, such as body, frame, or fender straightening and repair; overall painting and undercoating of automobiles.
Banquet hall. A commercial service establishment for the purpose of catering banquets, weddings, receptions and similar functions for which food and beverages are prepared and served on the premises, but not including a catering establishment.
Basement. That portion of a building which is partly or wholly below grade but so located that
the vertical distance from the average grade to the floor is greater than the vertical
distance from the average grade to the ceiling. A basement shall not be counted as
a story.

BASEMENT & STORY
Block. The property abutting one side of a street and lying between the two nearest intersecting streets, (crossing or terminating) or between the nearest such street and railroad right-of-way, unsubdivided acreage, lake, river or live stream; or between any of the foregoing and any other barrier to the continuity of development, or boundary lines of the Township.
Brewpub. Means a brewer/facility that may manufacture and brew not more than 9,000 barrels of beer per calendar year in conjunction with a class C, tavern, class A hotel, or class B hotel license and which also shall be licensed as a food service establishment under the Michigan food law, being Public Act 92 of 2000, as amended (MCL 289.1101 to 289.8111).
Building. Any structure, either temporary or permanent, having a roof supported by columns or walls, and intended for the shelter, or enclosure of persons, animals, chattels, or property of any kind.
Building height. The vertical distance measured from the established grade to the highest point of the roof surface for flat roofs; to the deck line of mansard roofs; and to the average height between eaves and ridge for gable, hip, and gambrel roofs.
Building line. A line formed by the face of the building, and for the purposes of this Ordinance, a minimum building line is the same as a front setback line.
Catering establishment. A commercial service establishment in which food and beverages are prepared for consumption off the premises and not served to customers on the premises or through a take out service.
Child care center. A facility, other than a private residence, receiving one or more preschool or school-age children for care for periods less than 24 hours a day, and where the parents or guardians are not immediately available to the child, including a facility which provides care for not less than two consecutive weeks, regardless of the number of hours of care per day. The term includes any facility referred to as a day care center, day nursery, nursery school, drop-in center, or parent cooperative preschool. A child care center does not include a Sunday school, vacation bible school, or religious instructional class operated by a religious organization where children are in attendance for not greater than three hours per day for a indefinite period or not greater than eight hours per day for a period not to exceed four weeks during a 12-month period.
Club. An organization of persons for special purposes or for the promulgation of agriculture, sports, arts, sciences, literature, politics, or the like, but not operated for profit.
Common open space. A parcel or parcels of land or an area of water or a combination of land and water within the site designated for a planned residential development and designed and intended for use or enjoyment of all the residents of such planned residential development. Common open space may contain such complementary structures and improvements as are necessary and appropriate for the benefit and enjoyment of all the residents, including common club houses, pools, tennis courts, and similar facilities, but shall not include (a) areas reserved for the exclusive use or benefit of an individual tenant or owner, such as fenced yards or private residential yards, (b) dedicated streets, alleys, and other public right-of-ways, (c) vehicular drives, parking, loading and storage areas, or (d) areas reserved for nonresidential uses.
Common use area. That portion of a building or of a parcel of land in private ownership designed and intended to enable all of the residents of a planned residential development or the residents of designated units within a planned residential development to use and enjoy their respective individual units therein, including such features as vehicular drives, parking and storage areas, access ways, and corridors, stairs, elevators, and utility and storage rooms in multiple dwellings.
Compost. A stabilized organic product produced by a controlled aerobic decomposition process that can be used as a soil additive, fertilizer, growth media, or other beneficial use.
Composting. The accelerated biological decomposition of organic matter under managed aerobic conditions resulting in compost.
Composting facility. Means a facility where composting of yard clippings occurs using mechanical handling techniques such as physical turning, windrowing, or aeriation or using other management techniques.
Convalescent or nursing home. A structure with sleeping rooms where persons are housed or lodged and are furnished with meals and nursing or limited medical care.
Development. The construction of a new building or other structure on a zoning lot, the relocation of an existing building on another zoning lot, or the use of open land for a new use.
District. A portion of the unincorporated area of the Township within which certain regulations and requirements or various combinations thereof apply under the provisions of this Ordinance.
Drive-in. A business establishment so developed that its retail or service character is dependent on providing a driveway approach or parking spaces for motor vehicles so as to serve patrons while in the motor vehicle rather than within a building or structure.
Drive-in restaurant. A restaurant so developed that its retail or service character is primarily dependent on providing a driveway approach or parking spaces for motor vehicles so as to serve patrons while in the motor vehicle or to permit patrons to eat while in the motor vehicle, as well as within a building or structure, or primarily to provide self-service for patrons and food carry-out.
Driveway or private driveway. Any open space unoccupied and essentially unobstructed from the ground to the sky that is on privately owned and maintained property which is not open or normally used by the public, and which is used for vehicular access to a lawfully opened, used and developed public or private road.
Dwelling unit. A building, or portion thereof, designed for occupancy by one family for residential purposes and having cooking facilities and necessary sanitary facilities solely designed for use by that family.
Dwelling unit, manufactured. A dwelling unit which is substantially built, constructed, assembled, and finished off the premises upon which it is intended to be located. This definition shall include: a mobile home located outside a mobile home park, as well as a dwelling unit that is transported to the site in modular form for final assembly on the site.
Dwelling unit, site built. A dwelling unit which is substantially built, constructed, assembled and finished on the premises which is intended to serve as its final location. Site built dwelling units shall include dwelling units constructed of pre-cut materials, and panalized wall, roof and door sections when such sections require substantial assembly and finishing on the premises which are intended to serve as its final location.
Dwelling, one-family. A building designed exclusively for and occupied exclusively by one family.
Dwelling, two-family. A building designed exclusively for occupancy by two families living independently of each other.
Dwelling, multiple-family. A building, or a portion thereof, designed exclusively for occupancy by three or more families living independently of each other.
Employer-sponsored child care center. A facility receiving one or more preschool or school-age children for care for periods less than 24 hours a day, and where the parents or guardians are not immediately available to that child, including a facility which provides care for not less than two consecutive weeks, regardless of the number of hours of care per day. Such facility shall be accessory to the principal use of the premise and enrollment at the facility shall be limited to children that are in the legal guardianship of an employee of the principal use.
Erected. Built, constructed, altered, reconstructed, moved upon or any physical operations on the premises which are required for construction, excavation, fill, drainage, and the like, shall be considered a part of erection.
Essential services. The erection, construction, alteration or maintenance by public utilities or municipal departments of underground, surface, or overhead gas, electrical, steam, fuel or water transmission or distribution systems, collection, communication, supply or disposal systems, including poles, wires, mains, drains, sewers, pipes, conduits, cables, fire alarm and police call boxes, traffic signals and hydrants in connection herewith, but not including building which are necessary for the furnishing of adequate service by such utilities or municipal departments for the general health, safety or welfare.
Excavation. Any breaking of ground, except common household gardening and ground care.
Exception. A use permitted only after review of an application by the Board of Appeals or Township Board or a modification in the standards of this Ordinance specifically permitted after review by the Board of Appeals, Planning Commission or Township Board; such review being necessary because the provisions of this Ordinance covering conditions precedent or subsequent are not precise enough to all applications without interpretation and such review and exception is provided for by this Ordinance. An exception is not a variance.
Family. One or two persons or parents, with their direct lineal descendants and adopted or foster children (and including the domestic employees thereof) together with not more than three persons not so related, living together in the whole or part of a dwelling comprising a single housekeeping unit. Every additional group of two or less persons living in such housekeeping unit shall be considered a separate family for purposes of this Ordinance.
Family day care home. A private home in which one but less than seven minor children are received for care and supervision for periods less than 24 hours a day, unattended by a parent or guardian, except children related to an adult member of the family by blood, marriage, or adoption, including a home that gives care to an unrelated child for more than four weeks during a calendar year.
Farm. The carrying on of any agricultural use or the raising of livestock or small animals as a source of income.
Fence. An artificially constructed barrier of any material, or combination of materials, erected to enclose, screen or separate areas.
Fence, decorative. A fence constructed of an ornamental material such as wrought iron, simulated wrought iron, brick or stone, or embellished wood picket fences or split rail fences. Ornamental fences do not include chain link fences, with or without woven slats, or wood stockade-style fences.
Fenestration. The design and placement of windows and other openings in a building or structure.
Floor area, residential. For the purpose of computing the minimum allowable floor area in a residential dwelling unit, the sum of the horizontal areas of each story of the building shall be measured from the exterior faces of the exterior walls or from the centerline of walls separating two dwellings. The floor area measurement is exclusive of areas of basements, unfinished attics, attached garages, breezeways, and enclosed and unenclosed porches.
Floor area, usable (for the purposes of computing parking). That area used for or intended to be used for the sale of merchandise or services,
or for use to serve patrons, clients, or customers. Such floor area which is used
or intended to be used principally for the storage or processing of merchandise, hallways,
or for utilities or sanitary facilities, shall be excluded from this computation of
"Usable Floor Area." Measurement of usable floor area shall be the sum of the horizontal
areas of the several floors of the building, measured from the interior faces of the
exterior walls.

FLOOR AREA
Frontage. The full length of a parcel or lot, or other plot of land, measured alongside the front lot line, which must be continuous and uninterrupted, and located on only one road or street. Frontage may not be measured along two or more roads or streets on a corner lot or through lot. Frontage may not be measured along two or more portions of a front lot line that are separated by antoher parcel or lot.
Garage, private. An accessory building or portion of a main building designed or used solely for the storage of motor-driven vehicles, boats, and similar vehicles owned and used by the occupants of the building to which it is accessory.
Garage, service. Any premises used for the storage or care of motor-driven vehicles, or where any such vehicles are equipped for operation, repaired, or kept for remuneration, hire or sale.
Gasoline service station. A place for the dispensing, sale or offering for sale of motor fuels directly to users of motor vehicles, together with the sale of minor accessories and services for motor vehicles, but not including major automobile repair.
Grade. The ground elevation established for the purpose of regulating the number of stories and the height of buildings. The building grade shall be the level of the ground adjacent to the walls of the building if the finished grade is level. If the ground is not entirely level, the grade shall be determined by averaging the elevation of the ground for each face of the building.
Group day care home. A private home in which six but not more than 12 minor children are received for care and supervision for periods less than 24 hours a day, unattended by a parent or guardian, except children related to an adult member of the family by blood, marriage, or adoption, including a home that gives care to an unrelated child for more than four weeks during a calendar year.
Home occupation. An occupation allowed as an accessory use incident to a dwelling unit under Section 1924 [Section 400.1924], conducted entirely within a dwelling unit, carried on by the immediate family members inhabiting the dwelling unit, and which is clearly incidental and secondary to the primary use of the dwelling unit for dwelling purposes.
Hotel. A building or part of a building, with a common entrance or entrances, in which the dwelling units or rooming units are used primarily for transient occupancy, and in which one or more of the following services are offered: maid service, furnishing of linen, telephone, secretarial, or desk service, and bellboy service. A hotel may include a restaurant or cocktail lounge, public banquet halls, ballrooms, or meeting rooms.
Housing for the elderly. Three or more living units within a building or buildings restricted to and especially for the use and occupancy of elderly persons, married or single, one occupant of which is 55 years of age or older for each living unit and which complies with all of the federal and state regulations relating to housing for elderly persons including, but not limited to, the Fair Housing Act, 42 USC § 3604, et seq. (or its successor), and the Michigan Elliot Larsen Civil Rights Act, MCL § 37.2101, et seq. (or its successor).
Junk yard. An area where waste, used or secondhand materials are bought and sold, exchanged, stored, baled, packed, disassembled, or handled including but not limited to: scrap iron and other metals, paper, rags, rubber tires, and bottles. A "Junk Yard" includes automobiles wrecking yards and includes any open area of more than 200 square feet for storage, keeping or abandonment of junk.
Kennel, commercial. Any lot, establishment, facility, or premises wherein or whereon three or more dogs, cats, or other household pets are confined, raised, or kept for sale, boarding, breeding, leasing, trading, or training purposes, for remuneration, except a duly licensed pet shop. A commercial kennel is a kennel licensed, or subject to licensing by the Animal Control Division of the Monroe County Board of Health.
Kennel, private. Any lot, establishment, facility, or premises wherein or whereon four or more dogs, cats, or other household pets, (except those excluded herein), six months or more old, are maintained, harbored, kept, confined, raised, lodged, fed, or allowed to remain, but not a commercial kennel or a duly licensed pet shop. A private kennel is not a kennel licensed, or subject to licensing by the Animal Control Division of the Monroe County Board of Health. Specifically excluded from this definition are those small animals or fish commonly kept as pets and which are exclusively housed and kept indoors, such as fish, hamsters, gerbils, canaries, and the like.
Living unit. A building or portion thereof, designed for occupancy by one person or one family for residential purposes which may or may not have cooking facilities.
Loading space. An off-street space on the same lot with a building, or group of buildings, for the temporary parking of a commercial vehicle while loading and unloading merchandise or materials.
Lot. A parcel of land occupied, or intended to be occupied, by a main building or a group of such buildings and accessory building, or utilized for the principal use and uses accessory thereto, together with such yards and open spaces as are required under the provisions of this Ordinance. A lot may or may not be specifically designated as such on public records.
Lot, corner. A lot where the interior angle of two adjacent sides at the intersection of two streets is less than 135 degrees. A lot abutting upon a curved street or streets shall be considered a corner lot for the purposes of this Ordinance if the arc is of less radius than 150 and the tangents to the curve, at the two points where the lot lines meet the curve or the straight street line extended, form an interior angle of less than 135 degrees.
Lot, interior. Any lot other than a corner lot.
Lot, through. Any interior lot having frontage on two more or less parallel streets as distinguished from a corner lot. In the case of a row of double frontage lots, all yards of said lots adjacent to streets shall be considered frontage, and front yard setbacks shall be provided as required.
Lot, zoning. A single tract of land, located within a single block, which, at the time of filing for a building permit, is designated by its owner or developer as a tract to be used, developed, or built upon as a unit, under single ownership or control. A zoning lot shall satisfy this Ordinance with respect to area, size, dimensions, and frontage as required in the district in which the zoning lot is located. A zoning lot, therefore, may not coincide with a lot of record as filed with the County Register of Deeds, but may include one or more lots of record.
Lot area. The total horizontal area within the lot lines of the lot.
Lot coverage. The part or percent of the lot occupied by buildings including accessory buildings.
Lot depth. The horizontal distance between the front and rear lot lines, measured along the median between the side lot lines.
Lot lines. The lines bounding a lot as defined herein:
a.
Front Lot Line: In the case of an interior lot, is that line separating said lot from the street. In the case of a through lot, is that line separating said lot from either street. In the case of a corner lot, is that line separating said lot from that street which is designated as the front street in the plat or the request for zoning compliance permit.
b.
Rear Lot Line: That lot line opposite the front lot line. In the case of a lot pointed at the rear, the rear lot line shall be an imaginary line parallel to the front lot line, not less than ten feet long lying farthest from the front lot line and wholly within the lot.
c.
Side Lot Line: Any lot line other than the front lot line or rear lot line. A side lot line separating a lot from a street is a side street lot line. A side lot line separating a lot from another lot or lots is an interior side lot line.
Lot of record. A parcel of land, the dimensions of which are shown on a document or map on file with the County Register of Deeds or in common use by Township or County Officials, and which actually exists as so shown, or any part of such parcel held in a record ownership separate from that of the remainder thereof.
Lot width. The horizontal straight line distance between the side lot lines, measured between the two points where the front setback line intersects the side lot lines.
Main building. A building in which is conducted the principal use of the lot upon which it is situated.
Major thoroughfare. An arterial street which is intended to serve as a large volume trafficway for both the immediate Township area and the region beyond, and is designated as a major thoroughfare, parkway, freeway, expressway, or equivalent term on the Major Thoroughfare Plan to identify those streets comprising the basic road structure of the Master Plan.
Master plan. The Master Plan for Future Land Use including graphic and written proposals indicating the general location for streets, parks, schools, public buildings, and all physical development of the Township, and includes any unit or part of such plan, and any amendment to such plan or parts thereof.
Mezzanine. An intermediate floor in any story occupying not to exceed one-third of the floor area of such story.
Microbrewery. Means a brewer/facility that produces in total less than 30,000 barrels of beer per year. It may include a tasting room, restaurant, and retail space for on and off-site consumption. All microbrewery premises shall be licensed pursuant to and in conformance with the Michigan Liquor Control Code, Administrative Rules and Related laws.
Miniwarehouse. A building or group of buildings in a controlled access and fenced compound that contains individual, compartmentalized, and controlled access storage units, stalls or lockers, that may be of varying size, for the dead storage of customers' possessions, goods and wares, and where no utilities are provided except that lighting of individual storage units is permissible.
Mobile home. Any vehicle designed, or constructed so as to permit its being used as a conveyance upon the public streets or highways and constructed in such a manner as will permit occupancy thereof as a dwelling or sleeping place for one or more persons.
Mobile home park. A parcel or tract of land under the control of a person upon which two or more mobile homes are located on a continual nonrecreational basis and which is offered to the public for that purpose regardless of whether a charge is made therefore. Any ancillary building, structure, enclosure, street, equipment or facility located on said parcel or tract of land and used or intended for use incident to the occupancy of a mobile home shall be considered a part of the mobile home park.
Motel. A series of attached, semidetached or detached rental units containing a bedroom, bathroom and closet space. Units shall provide for overnight lodging and are offered to the public for compensation, and shall cater primarily to the public traveling by motor vehicle.
Municipality. The Township of Bedford, Michigan.
Nonconforming building. A building or portion thereof lawfully existing at the effective date of this Ordinance, or amendments thereto, and that does not conform to the provisions of the Ordinance in the district in which it is located.
Nonconforming use. A use which lawfully occupied a building or land at the effective date of this Ordinance, or amendments thereto, and that does not conform to the use regulations of the district in which it is located.
Nursery, plant materials. A space, building or structure, or combination thereof, for the storage of live trees, shrubs or plants offered for retail sale on the premises including products used for gardening or landscaping. The definition of nursery within the meaning of this Ordinance does not include any space, building or structure used for the sale of fruits, vegetables or Christmas trees.
Off-street parking lot. A facility providing vehicular parking spaces along with adequate drives and aisles, for maneuvering, so as to provide access for entrance and exit for the parking of more than three vehicles.
Parking space. An area of definite length and width, said area shall be exclusive of drives, aisles or entrances giving access thereto, and shall be fully accessible for the parking of permitted vehicles.
Places of Worship. A site used for or intended for the regular assembly of persons for the conducting of religious services and reasonably closely related activities or uses.
Pond. Any open and substantially earthen artificial, manmade, or natural impoundment of water created, altered, or enhanced by, any excavation, cutting, stripping, grading, digging, filling, removal, or movement of any soil matter or earth material, or by the installation of any dam, levy, or other retention device or structure which diverts the natural flow of water to or from an area thus creating, altering, or enhancing an impounded body of water.
Principal use. The main use to which the premises are devoted and the principal purpose for which the premises exist.
Public utility. A person, firm, or corporation, municipal department, board or commission duly authorized to furnish and furnishing under federal, state or municipal regulations to the public: gas, steam, electricity, sewage disposal, communication, telegraph, transportation or water.
Recreation Vehicle. A vehicle designed to be used primarily for recreational purposes, including but not limited to temporary sleeping quarters or cooking facilities, self-propelled motor homes, a unit designed to be attached to a vehicle and used for such purposes, including pick-up campers, travel trailers, pop up tent trailers, boats and boat trailers, floats and float trailers, utility trailers, snow mobile trailers, or other equipment similar in nature, provided any such vehicle or unit which is 40 feet or more in overall length shall be considered a mobile home and shall be subject to all regulations of this Ordinance applicable to mobile homes.
Road, private. A privately owned and maintained road, right-of-way or similar parcel of land essentially unobstructed from the ground to the sky, allowing vehicular access to more than one dwelling building, farm, office building, commercial building, industrial building, or place of business, or lot or parcel of land to be used for one of the above, which is normally open to the public and upon which persons other than the owners located thereon may also travel.
Road, public. A road, street, right-of-way, or similar parcel of land essentially unobstructed from the ground to the sky which is open to the public for purposes of vehicular travel and which has been dedicated, deeded, platted, set aside, provided for, or otherwise permanently appropriated to the public for public use, and which has been certified and accepted by the Monroe County Road Commission or the appropriate State or Federal highway authority.
Roadside stands. A roadside stand is a temporary or existing permanent building operated for the purpose of selling only agricultural products raised or produced on the same premises by the proprietor of the stand or his family.
Room. For the purpose of determining lot area requirements and density in a multiple-family district, a room is a living room, dining room or bedroom, equal to at least 80 square feet in area. A room shall not include the area in kitchen, sanitary facilities, utility provisions, corridors, hallways, and storage. Plans presented showing one, two or three bedroom units and including a "den," "library" or other extra room shall count such extra room as a bedroom for the purpose of computing density.
Setback. The distance required to obtain minimum front, side or rear yard open space provisions of this Ordinance. Setbacks from a public street shall be measured from existing right-of-way lines.
Sign. The use of any words, numerals, figures, devices, designs or trademarks by which anything is made known such as are used to show an individual, firm, profession, or business, and are visible to the general public.
Sign, accessory. A sign which is related to the principal use of the premises.
Sign, nonaccessory. A sign which is not related to the principal use of the premises.
Stable, private. Any lot or premises wherein or whereon a horse or horses are maintained, harbored, kept, confined, raised, lodged, fed, or allowed to remain, which are exclusively owned and used by a person living at the lot or premises, but not a public stable.
Stable, public. Any lot or premises wherein or whereon a horse or horses are maintained, harbored, kept, confined, raised, lodged, fed, or allowed to remain, for sale, public show, boarding, breeding, leasing, trading, training, riding, or some similar purpose, for remuneration, or which is a stable that is not a private stable.
Story. That part of a building, except a mezzanine as defined herein, included between the surface of one floor and the surface of the next floor, or if there is no floor above, then the ceiling next above. A basement shall not be counted as a story.
Street. A dedicated public right-of-way, other than an alley, which affords the principal means of access to abutting property.
Structure. Anything constructed or erected, the use of which requires location on the ground or attachment to something having location on the ground.
Swimming pool. Any structure or container which is an assemblege of materials (i.e.: concrete, wood, plastic, vinyl, or masonry), permanent or temporary, portable or non-portable, above or below grade, capable of containing water to a depth of two feet or more measured from the deepest point.
Temporary use or building. A use or building permitted by the Board of Appeals to exist during a specified period of time.
Use. The principal purpose for which land or a building is arranged, designed or intended, or for which land or a building is or may be occupied.
Variance. A modification of the literal provisions of the Zoning Ordinance granted when strict enforcement of the Zoning Ordinance would cause undue hardship owing to circumstances unique to the individual property on which the variance is granted. The crucial points of variance are: (a) undue hardship, (b) unique circumstances, and (c) applying to property. A variance is not justified unless all three elements are present in the case. A variance is not an exception.
Wall, obscuring. A structure of definite height and location to serve as an obscuring screen in carrying out the requirements of this Ordinance.
Yard clippings. Means leaves, grass clippings, shrubbery, or brush or tree trimmings less than four feet in length and two inches in diameter, that can be converted to compost humus. Yard clippings does not include stumps, agricultural waste, animal waste, roots, sewage, garbage, or vegetable and other garden debris.
Yards. The open spaces on the same lot with a main building unoccupied and unobstructed from the ground upward except as otherwise provided in this Ordinance, and as defined herein:
a.
Front yard. An open space extending the full width of the lot, the depth of which is the minimum horizontal distance between the front lot line and the nearest point of the main building.
b.
Rear yard. An open space extending the full width of the lot, the depth of which is the minimum horizontal distance between the rear lot line and the nearest point of the main building. In the case of a corner lot, the rear yard may be opposite either street frontage.
c.
Side yard. An open space between a main building and the side lot line, extending from the front yard to the rear yard, the width of which is the horizontal distance from the nearest point on the side lot line to the nearest point of the main building.
(Ord. No. 44A-17, 7-10-79; Ord. No. 44A-28, 1-5-82; Ord. No. 44A-34, 12-21-82; Ord. No. 44A-55, 8-19-86; Ord. No. 44A-60, 1-6-87; Ord. No. 44A-91, 7-18-89; Ord. No. 44A-105, 12-18-90; Ord. No. 44A-107, 7-2-91; Ord. No. 44A-125, 4-5-94; Ord. No. 44A-141, 10-3-95; Ord. No. 44A-170, § 1, 5-19-98; Ord. No. 44A-176, § 1, 10-15-98; Ord. No. 44A-185, § 1, 6-1-99; Ord. No. 44A-215, 9-17-02; Ord. No. 44A-217, § 1, 10-15-02; Ord. No. 44A-265, 6-17-08; Ord. No. 44A-284, § 1, 5-14-13; Ord. No. 44A-312, § 1, 7-18-17; Ord. No. 44A-317, § 1, 11-14-17; Ord. No. 44A-318, § 1, 11-21-17)