44 - BUSINESS DISTRICTS
Sections:
A.
The business districts set forth herein are established to protect public health; to promote public safety, comfort, convenience; and the general welfare; and to protect the economic base of the Village and the value of property. These general purposes include, among others, the following specific objectives:
1.
To promote the most desirable use of land in accordance with a well considered plan so that adequate space is provided in appropriate locations for the various types of business uses, thereby protecting and strengthening the economic base of the Village.
2.
To place in separate districts those businesses which may create noise, odors, hazards, unsightliness, or which may generate excessive traffic.
3.
To permit selected business uses in districts where adjacency to or inclusion in a residential area has sufficient elements of service or convenience to such areas to offset any disadvantage.
4.
To encourage the grouping in appropriate locations of compatible business uses which will tend to draw mutually interchangeable trade and so promote public convenience and business prosperity and contribute to the alleviation of traffic and pedestrian congestion.
5.
To promote the establishment of off-street parking facilities permitted and required so as to alleviate traffic congestion and so promote shopping convenience and business prosperity.
A.
The regulations set forth in this section, or set forth elsewhere in this Title when referred to in this section, are the district regulations in the B-1 business district, limited retail.
B.
Permitted Uses. No building or land shall be used and no building shall be erected, structurally altered or enlarged unless otherwise provided in this Title except for the following uses:
1.
Retail and Service Uses, as follows:
Animal hospitals.
Art and school supply stores.
Art galleries.
Auction rooms.
Banks and financial institutions, not including drive-through service facilities.
Barber shops.
Beauty shops.
Bicycle shops and bicycle service shops excluding those which sell and/or service motorized vehicles and/or motorized bicycles.
Book or stationery stores.
Camera and photographic supply stores.
Carpet, rug and linoleum stores.
Child care centers.
China and glassware stores.
Coin and philatelic stores.
Currency exchanges.
Custom dressmaking and millinery shops.
Department stores.
Drug stores.
Dry-cleaning and laundry-receiving stations; processing to be done elsewhere.
Dry goods or notion stores.
Electrical and household appliance stores, including radio and television sales.
Florist shops and conservatories.
Food stores—grocery stores, meat markets, bakeries (retail), candy and ice cream shops, delicatessens and frozen food stores including locker rental in conjunction therewith.
Furrier shops, including the incidental storage and conditioning of furs.
Furniture stores, including upholstering when conducted as part of the retail operations and secondary to the principal use.
Garden supply and seed stores.
Gift shops.
Haberdasheries.
Hardware stores.
Health clubs - under 10,000 square feet in total floor space
Hobby shops, for retail of items to be assembled or used away from the premises.
Interior decorating shops, including upholstering and making of draperies, slip covers and other similar articles when conducted as part of the retail operations and secondary to the principal use.
Jewelry stores, including watch repairs.
Leather goods and luggage stores.
Liquor stores, package goods only.
Locksmith shops.
Massage establishments
Medical and dental clinics.
Musical instrument stores, including minor repair.
Nonacademic schools, classes and instruction
Office supply stores.
Optician shops.
Paint and wallpaper stores.
Photographer.
Public baths
Restaurants, tearooms, outdoor sidewalk cafes, and outdoor garden cafes, conducted accessory to indoor establishments. Drive-in restaurants or food stands catering to customers with facilities for parking on the premises for consumption of food in autos shall not be permitted.
Sewing machine stores, household machines only.
Shoe and hat repair stores.
Shoe stores.
Sporting goods stores.
Swimming pools (Public).
Taverns.
Tobacco shops.
Toy stores.
Wearing apparel shops.
Variety stores.
2.
Offices—business and professional.
3.
Miscellaneous uses:
Clubs and lodges (nonprofit), fraternal or religious institutions.
Meeting halls.
Commercial radio and television broadcasting stations (excluding transmitting or antenna towers) except as a special use as specified in Section 17.44.020.C.11.
4.
Residential uses: dwelling units, if business uses, or premises designed for such uses, occupy the ground floor.
5.
Uses customarily incidental to principal permitted uses:
Accessory uses.
Home occupations.
Temporary buildings for construction purposes for a period not to exceed the duration of such construction.
6.
Any other similar type retail store, office or service establishment not specifically permitted herein, but which is compatible with the established uses in the surrounding area.
C.
Special Uses.
1.
Auditorium, stadium, arena, armory, and other similar places for public events.
2.
Bus terminal, railroad passenger station, freight terminal or any other public transportation terminal facilities.
3.
Churches and places of public worship on zoning lots having a minimum area of forty thousand square feet, having not more than twenty-five percent of the zoning lot occupied by building, and having sufficient land area to provide for both building space and off-street parking requirements.
4.
Convents, monasteries, rectories or parish houses.
5.
Golf course (including miniature golf courses), public or private.
6.
Public or privately owned recreation building or community center.
7.
Police or fire station.
8.
Public buildings, including art gallery, library, museum or similar structures.
9.
Public park, playground or club.
10.
Public or privately owned and operated recreation area, fairgrounds, permanent carnivals, "kiddie parks," or other similar amusement centers.
11.
Public utility facilities.
12.
Business planned unit development.
13.
Wind energy conversion system.
14.
Drive-through facilities for retail pharmacies for the drop-off of prescription orders and pick-up of prescription medications and over-the-counter medical items.
15.
Adult-use cannabis dispensary pursuant to Section 17.28.080, provided that they are located on sites with frontage along the following major streets: Lake-Cook Road, IL Route 68 (Dundee Road) or IL Route 45 (Milwaukee Avenue).
D.
Conditions of Use. All uses permitted in this district (except residential and special uses) shall be retail establishments dealing directly with consumers and shall be subject to the following conditions:
1.
Dwelling units are not permitted below the second floor.
2.
There shall be no manufacture, processing or treatment of products other than those which are clearly incidental and essential to the retail business conducted on the same premises.
3.
Not more than three persons (exclusive of managers, clerks, and drivers) shall be engaged in said manufacture, processing or treatment of products.
4.
Such uses, operations or products shall not be objectionable due to odor, dust, smoke, noise, vibration or other similar causes.
5.
All activities as permitted or required shall be conducted within an enclosed building, except as allowed herein. The outside display and sale of liquefied petroleum gas, including propane containers, is permitted subject to the following conditions and standards:
a.
A facility shall comply with applicable codes and regulations as determined by the Village Fire Department and Building and Zoning Department. Signs pertaining to safety and hazard control shall be provided as approved by the Fire Department. If the Fire Department determines that protective barriers are necessary, said barriers shall be installed as approved by the Village.
b.
A permit is required by the Village prior to installation of a facility. The permit application shall include a site plan drawn to scale delineating the area to be occupied by the facility, the height, length and depth dimensions of the facility, the location and distance to the closest windows and doors of the adjacent building, the location of the closest parking areas for motor vehicles, the location of any other adjacent improvements including bicycle racks, and the width of the sidewalk where the facility will be located.
c.
A facility shall meet the following standards: The maximum size is limited to a length of seven feet, six inches and a maximum height of six feet as measured from the base of the facility; sidewalks adjacent to the facility shall have a minimum clearance of five feet in width for pedestrian access, and said clearance shall not be reduced by motor vehicle overhang or placement of any items on the sidewalk.
d.
The facility is subject to appearance review by the Village. The facility shall be visually unobtrusive as determined by the Village. The facility shall be the same or similar color as the adjacent building wall or surface. Signs advertising the product or vendor shall be limited to ten percent of the front elevation area for each individual cabinet or cage. Signs are allowed only on the front elevation of the cabinet or cage and shall not be placed above the cabinet or cage or on building walls or windows.
E.
Minimum Lot Sizes. Every zoning lot for a building hereafter erected or enlarged shall contain a minimum of ten thousand square feet. Buildings containing mixed residential and business uses shall be located on a lot having an area of not less than two thousand square feet per dwelling unit.
F.
Maximum Floor Area Ratio. The maximum floor area ratio of buildings and structures on a zoning lot shall be one-half.
G.
Yards.
1.
No building or structure shall be erected or maintained within twenty-five feet of the right-of-way of any street. The twenty-five-foot strip shall be landscaped. At any point along the wall of the building closest to the right-of-way, measured at right angles to the right-of-way, for every three feet that point is moved away from the twenty-five-foot setback, the twenty-five-foot landscaped area at that point may be decreased one foot in size. At no time shall there be less than a twelve-foot landscaped area adjacent to the entire length of the right-of-way, with the exception of the paving needed for ingress and egress. At no time shall a building be constructed or maintained at a distance from the right-of-way less than that equal to its height.
2.
A rear yard shall be provided for residential uses located above the first floor; such yard shall be no less than thirty feet in depth.
H.
Transitional Yards.
1.
Where a rear or side lot line coincides with a side or rear lot line in an adjacent residential district, a buffer strip of not less than twelve feet wide shall be provided. Such buffer strip shall be sodded, planted, shrubbed and maintained and there shall be provided adjacent to the residential district boundary line a solid wall, fence or hedge constructed and maintained to form a screen not less than six feet in height. Such screen shall be required prior to issuance of a certificate of occupancy. A temporary certificate of occupancy may be issued if the Village Forester determines that installation of such screen may be delayed due to seasonal conditions. If a solid wall or fence is utilized, it shall be placed immediately adjacent to the property line unless otherwise approved by the Village due to one or more of the following circumstances:
a.
The nature of the use would be detrimental to the required landscaping, thereby requiring any landscaped area to be located outside the wall or fence.
b.
The impact of the close proximity of adjacent uses would be reduced if some or all of the landscaped area was located outside the wall or fence.
c.
The general appearance of the area would be enhanced by locating the wall or fence other than immediately adjacent to the property line.
2.
At no time shall a building be constructed or maintained at a distance from the residential district boundary less than that equal to its height.
3.
Where a rear lot line coincides with a rear lot line of property in an adjacent residential district, a yard shall be provided along such rear lot line. Such yard shall be no less than thirty feet in depth.
4.
Transitional yards shall be unobstructed from the lowest level to the sky.
I.
Height Regulations. No building shall exceed three stories or thirty-five feet in height, whichever is less.
(Ord. 2004-100 § 14, 2004; Ord. 2004-80 § 2, 2004)
(Ord. No. 2014-39, § 1, 5-19-2014; Ord. No. 2014-43, § 30, 6-16-2014; Ord. No. 2016-008, § 3, 2-22-2016; Ord. No. 2019-054, § 3, 10-21-2019)
A.
The regulations set forth in this section, or set forth elsewhere in this Title when referred to in this section, are the district regulations in the B-2 business district, general retail.
B.
Permitted Uses. No building or land shall be used and no building shall be erected, structurally altered, or enlarged unless otherwise provided in this Title, except for the following uses:
Any permitted use in the B-1 business district except animal hospitals.
Antique shops.
Art galleries and studios.
Auditorium.
Automobile service station.
Automobile wash.
Bicycle stores, including rental and repair.
Blueprinting and photostating establishment.
Business college or business school, operated as a business enterprise.
Caskets and casket supplies.
Catering establishments.
Clothing and costume rental shops.
Dry-cleaning establishments when employing facilities for the cleaning and pressing of dry goods for retail trade only, conducted on the premises.
Employment agencies.
Exterminating shops.
Feed and seed stores.
Frozen food locker, excluding wholesale storage.
Hospital or sanitarium.
Hotel and motel.
Laundromats, automatic or self-service type.
Loan offices.
Medical or dental clinics and laboratories.
Music conservatory or music instruction.
Newsstand.
Orthopedic, medical and surgical.
Personal wireless communications facilities and cellular telephone facilities, including antennas, for use with radio and/or other transmitting and receiving equipment, on public property, quasi-public property and property owned by a public utility when located within a building or on the exterior of a building, provided that any structure or equipment mounted on a building shall be not more than fifteen feet higher than the roof of the building or extend more than fifteen feet from the sides of a building. Such building mounted facilities are subject to the provisions of the Village Appearance Plan.
Pet shops.
Photograph developing and processing shops.
Picture framing establishments when conducted for retail trade on the premises only.
Plumbing showrooms.
Printing, lithographing or publishing establishments for letter press, business cards, mimeographing and other similar custom services.
Private club or lodge.
Post office.
Restaurants, not including drive-through or drive-in service.
Second-hand store.
Tailor shop.
Theatres, excluding drive-in theatres.
Ticket agencies—amusement.
Travel bureau and transportation ticket offices.
Upholstering shop.
Undertaking establishments, funeral parlors.
Wholesale merchandise broker, excluding wholesale storage.
Any other similar type retail store, office or service establishment not specifically permitted in this Chapter, but which has economic compatibility with the established uses on adjoining premises.
C.
Special Uses.
1.
Auditorium, stadium, arena, armory, , and other similar places for public events.
2.
Bus terminal, railroad passenger station, freight terminal or any other public transportation terminal facilities.
3.
Churches and places of public worship on zoning lots having a minimum area of forty thousand square feet; having not more than twenty-five percent of the zoning lot occupied by buildings, and having sufficient land area to provide for both building space and off-street parking requirements.
4.
Convents, monasteries, rectories or parish houses.
5.
Golf course (including miniature golf course) public or private.
6.
Public or privately owned recreation building or community center.
7.
Police or fire station.
8.
Public buildings, including art gallery, library, museum or similar structures.
9.
Public park, playground or club.
10.
Public or privately owned and operated recreation area, fairgrounds, permanent carnivals, "kiddie parks," or other similar amusement center.
11.
Public utility facilities.
12.
Business planned unit development.
13.
Wind energy conversion system.
14.
Drive-through facilities for retail pharmacies for the drop off of prescription orders and pick up of prescription medications and over-the-counter medical items.
15.
Amusement establishments—bowling alleys, pool halls, dance halls, skating rinks and other similar places of recreation except pistol and rifle ranges.
16.
Restaurant drive-in facilities for window service of prepared and packaged food where such foods are not consumed on the premises and drive-in restaurants or food stands catering to customers with facilities for parking on the premises for consumption of food in motor vehicles.
17.
Drive-through service facilities for businesses other than pharmacies and restaurants.
18.
Sale, lease and rental of new motor vehicles [limited to passenger automobiles, light trucks and motorcycles] with or without accessory sales and leasing of used vehicles, including outdoor display of vehicles, and including warranty repair work and other repair service conducted as an accessory use. Sales and leasing operations shall be conducted from a freestanding principal building on a zoning lot of at least one acre and not greater than three acres.
19.
Automobile laundry.
20.
Preschool/Elementary School.
21.
Pawn Shops or Resale Shops (as defined in Chapter 5.46) shall not be located within one thousand feet of any other Pawn or Resale Shop as measured in a direct line from the closest point on one lot line to the closest proximate point on the other lot line.
22.
Sale of new and/or used automobiles as an ancillary use to an existing auto repair facility.
23.
Adult-use cannabis dispensary pursuant to Section 17.28.080, provided that they are located on sites with frontage along the following major streets: Lake-Cook Road, IL Route 68 (Dundee Road) or IL Route 45 (Milwaukee Avenue).
D.
Conditions of Use. All uses permitted in this district (except residential and special uses) shall be retail establishments only and shall be subject to the following conditions:
1.
Dwelling units are not permitted below the second floor.
2.
There shall be no manufacture, processing or treatment of products other than those which are clearly incidental and essential to the retail business conducted on the same premises.
3.
Not more than five persons (exclusive of manager, clerks and drivers) shall be engaged in such manufacture, processing or treatment of products including catering, cleaning, laundering, plumbing, upholstering and other similar permitted uses.
4.
Such uses, operations or products shall not be objectionable due to odor, dust, smoke, noise, vibrations or other similar causes.
5.
All activities, as permitted or required, shall be conducted within an enclosed building, except as allowed in this chapter. The outside display and sale of liquefied petroleum gas, including propane containers, is permitted subject to the conditions and standards set forth in Section 17.44.020.D.5.
E.
Maximum Floor Area Ratio. The maximum floor area ratio of buildings and structures on a zoning lot shall be one-half.
F.
Yards.
1.
No building or structure shall be erected or maintained, within twenty-five feet of the right-of-way of any street; the twenty-five-foot strip shall be landscaped (sodded, planted, and shrubbed). At any point along the wall of the building closest to the right-of-way measured at right angles to the right-of-way, for every three feet that point is moved away from the twenty-five-foot setback, the twenty-five-foot landscaped area at that point may be decreased one foot in size. At no time shall there be less than a twelve-foot landscaped area adjacent to the entire length of the right-of-way, with the exception of the paving needed for ingress and egress. At no time shall a building be constructed or maintained at a distance from the right-of-way less than that equal to its height.
2.
A rear yard shall be provided for residential uses located above the first floor; such yard shall be no less than thirty feet in depth.
G.
Transitional Yards.
1.
Where a rear or side lot line coincides with a side or rear lot line in an adjacent residential district, a buffer strip of not less than twelve feet wide shall be provided. Such buffer strip shall be sodded, planted, shrubbed and maintained and there shall be provided, adjacent to the residential district boundary line, a solid wall, fence or hedge constructed and maintained to form a screen not less than six feet in height. Such screen shall be required prior to issuance of a certificate of occupancy. A temporary certificate of occupancy may be issued if the Village Forester determines the installation of such screen may be delayed due to seasonal conditions. If a solid wall or fence is utilized, it shall be placed immediately adjacent to the property line unless otherwise approved by the Village due to one or more of the following circumstances:
a.
The nature of the use would be detrimental to the required landscaping thereby requiring the landscaped area to be located outside the wall or fence.
b.
The impact of the close proximity of adjacent uses would be reduced if some or all of the landscaped area was located outside the wall or fence.
c.
The general appearance of the area would be enhanced by locating the wall or fence other than immediately adjacent to the property line.
2.
At no time shall a building be constructed or maintained at a distance from the residential district boundary less than that equal to its height.
a.
Transitional yards shall be unobstructed from the lowest level to the sky.
H.
Minimum Lot Sizes. For every dwelling unit there shall be provided a minimum of one thousand one hundred square feet of lot area, except that for every efficiency unit there shall be provided not less than eight hundred square feet of lot area.
I.
Height Regulations. No building shall exceed three stories or forty-five feet in height, whichever is less.
(Ord. 2005-23 § 1, 2004; Ord. 2004-100 § 16, 2004; Ord. 2004-80 §§ 3, 4, 2004)
(Ord. No. 2012-44, § 1, 9-10-2012; Ord. No. 2013-54, § 1, 8-19-2013; Ord. No. 2014-39, § 1, 5-19-2014; Ord. No. 2014-77, §§ 1, 2, 12-1-2014; Ord. No. 2015-46, § 1, 8-3-2015; Ord. No. 2016-008, § 3, 2-22-2016; Ord. No. 2019-054, § 4, 10-21-2019)
A.
The regulations set forth in this section or set forth elsewhere in this Title when referred to in this section are the district regulations of the B-3 planned business center district.
B.
Use Regulations. A building or premises shall be used only for a planned business center, but only on tracts of land abutting and contiguous to a major street and only upon application to the Corporate Authorities in the manner outlined in Section 17.28.050.
C.
The business uses proposed shall include only selected compatible uses listed as permitted or special uses in the B-2 general retail business district; provided, however, that the Corporate Authorities may after recommendation of the Planning and Zoning Commission as a condition of the approval of the planned business center require that certain retail or other uses shall be omitted, or require the addition of other compatible uses not listed as permitted in the B-2 district. Personal wireless communications facilities and cellular telephone facilities, including antennas, for use with radio and/or other transmitting and receiving equipment, on a tower or pole, on property owned by a unit of local government or a public utility. Such tower or pole shall be set back from nonresidential property lines a distance not less than the height of the tower or pole. Such tower or pole shall be set back from a residential structure and any abutting residential zoning boundary a distance not less than twice the height of the tower or pole.
D.
A planned business center shall meet the following minimum requirements and standards:
1.
A planned business center shall be laid out and developed as a unit in accordance with an integrated overall design. The location and arrangement of buildings, parking areas, walks, lighting and appurtenant facilities shall be adjusted to the surrounding land uses, and any part of a planned business center not used for buildings other structures, parking and loading areas or accessways shall be landscaped with grass, trees, shrubs and pedestrian walks.
2.
No merchandise, materials or equipment shall be stored in any open areas, but may be kept and displayed in an open area for immediate sale or temporary display. The outside display and sale of liquefied petroleum gas, including propane containers, is permitted subject to the conditions and standards set forth in Section 17.44.020.D.5.
3.
No building or structure shall be erected or maintained within fifty feet of any residential property line. For any structure in excess of forty-five feet in height above grade, such setback shall be increased two feet in width for every one foot in building height above forty-five feet.
4.
No building or structure shall be erected or maintained within twenty-five feet of the right-of-way of any street; the twenty-five foot strip shall be landscaped. At any point along the wall of the building closest to the right-of-way measured at right angles to the right-of-way for every three feet that point is moved away from the twenty-five foot setback, the twenty-five foot landscaped area at that point may be decreased one foot in size. At no time shall there be less than a twelve foot landscaped area adjacent to the entire length of the right-of-way with the exception of the paving needed for ingress and egress. At no time shall a building be constructed at a distance from the right-of-way less than that equal to its height.
5.
Transitional Yards.
a.
Where a rear or side lot line coincides with a side or rear lot line in an adjacent residential district, a buffer strip of not less than twelve feet wide shall be provided. Such buffer strip shall be sodded, planted, shrubbed and maintained and there shall be provided, adjacent to the residential district boundary line, a solid wall, fence or hedge constructed and maintained to form a screen not less than six feet in height. Such screen shall be required prior to issuance of a certificate of occupancy. A temporary certificate of occupancy may be issued if the Village Forester determines the installation of such screen may be delayed due to seasonal conditions. If a solid wall or fence is utilized, it shall be placed immediately adjacent to the property line unless otherwise approved by the Village due to one or more of the following circumstances:
i.
The nature of the use would be detrimental to the required landscaping, thereby requiring the landscaped area to be located outside the wall or fence.
ii.
The impact of the close proximity of adjacent uses would be reduced if some or all of the landscaped area was located outside the wall or fence.
iii.
The general appearance of the area would be enhanced by locating the wall or fence other than immediately adjacent to the property line. At no time shall a building be constructed or maintained at a distance from the residential district boundary less than that equal to its height.
b.
Transitional yards shall be unobstructed from the lowest level to the sky.
6.
All primary light sources illuminating the buildings and planned business center area shall be erected and maintained in accordance with acceptable engineering practices and shall be placed, designed and used that neither the direct or reflected light therefrom will adversely affect surrounding property or create a traffic hazard.
(Ord. 2004-100 § 17, 2004)
(Ord. No. 2014-39, § 1, 5-19-2014; Ord. No. 2014-43, § 31, 6-16-2014)
A.
The regulations set forth in this section, or set forth elsewhere in this Title when referred to in this section, are the district regulations in the B-4 business services and wholesale district.
B.
Permitted Uses. No building or land shall be used and no building shall be hereafter erected, structurally altered or enlarged unless otherwise provided for in this Title, except for the following uses:
Any use permitted in the B-2 business district.
Agricultural implement sales and service.
Air conditioning and heating sales and service.
Automobile repair and service shop, including automobile repair and rebuilding, auto laundries, and painting of automobiles.
Bottling, nonalcoholic beverages and distribution.
Building materials sales.
Carpenter or cabinet shops (excluding furniture manufacture).
Cartage and express facilities.
Clothing, custom manufacturing and alterations for retail trade only.
Contractor or construction shops, such as:
Dry-cleaning establishments.
Exterminating shop.
Feed and seed store, wholesale.
Garage, public, for the storage of private passenger automobiles and commercial vehicles under one and one half tons capacity.
Glass cutting and glazing.
Greenhouse, wholesale growers.
House trailer sales (mobile homes).
Household appliance repair shops.
Laboratories, medical, dental, research, experimental, and testing.
Laundries, limited to six thousand two hundred and fifty square feet of gross floor area per establishment.
Linen, towel, diaper and other similar supply services, limited to six thousand two hundred and fifty square feet of gross floor area per establishment.
Machinery sales and service.
Monument sales.
Motor vehicles sales, including used car lots.
Motorcycle sales, including servicing and repair.
Personal wireless communications facilities and cellular telephone facilities, including antennas, for use with radio and/or other transmitting and receiving equipment, on public property, quasi-public property and property owned by a public utility when located within a building or on the exterior of a building, provided that any structure or equipment mounted on a building shall be not more than fifteen feet higher than the roof of the building or extend more than fifteen feet from the sides of a building. Said building mounted facilities are subject to the provisions of the Village Appearance Plan.
Processing or assembly, limited to the following, provided that space occupied in a building does not exceed six thousand square feet of total floor and basement space, not including stairwells or elevator shafts, and provided such processing or assembly can be conducted without noise, vibration, odor, dust or any other condition which might be disturbing to occupants of adjacent buildings. When manufacturing operations of the same or similar products demand space exceeding six thousand square feet, they shall be located in the I industrial district.
Advertising displays.
Awnings, venetian blinds and window shades.
Brushes and brooms.
Bakeries, wholesale.
Cosmetics, drugs and perfumes.
Electrical equipment appliances.
Food processing, packaging and distribution.
Ice cream.
Jewelry.
Medical and dental supplies.
Optical goods and equipment.
Pattern making scientific and precision instruments.
Products from finished materials, such as bone, cloth, cork, feathers, felt, fiber, fur, glass, hair, horn, leather, paper, plastic, precious or semi-precious stones, rubber, shell or yarn.
Silver plating and repair shop.
Tool, die and pattern making.
Used automobile sales on an open lot or within a building.
Wholesale offices and store rooms with storage limited to six thousand two hundred fifty square feet of floor area per establishment.
Accessory uses and accessory buildings, when located on the same premises.
C.
Special Uses.
1.
Auditorium, stadium, arena, armory, , and other similar places for public events.
2.
Bus terminal, railroad passenger station freight terminal or any other public transportation terminal facilities.
3.
Churches and places of public worship on zoning lots having a minimum area of forty thousand square feet, having not more than twenty-five percent of the zoning lot occupied by buildings, and having sufficient land area to provide for both building space and off-street parking requirements.
4.
Convents, monasteries, rectories or parish houses.
5.
Golf course (including miniature golf courses), public or private.
6.
Public or privately owned recreation building or community center.
7.
Recreation places, including bowling alley, dance hall, gymnasium, skating rink, archery range, golf practice range, miniature golf course or other places of amusement or entertainment when operated for pecuniary profit except pistol and rifle ranges.
8.
Business planned unit development.
9.
Police or fire station.
10.
Public buildings, including art gallery, library, museum or similar structures.
11.
Public park, playground or club.
12.
Public or privately owned and operated recreation area, fairgrounds, permanent carnivals, "kiddie parks," or other similar amusement center.
13.
Public utility facilities.
14.
Personal wireless communications facilities and cellular telephone facilities, including antennas, for use with radio and/or other transmitting and receiving equipment, on a tower or pole, on property owned by a unit of local government or a public utility. Said tower or pole shall be set back from non-residential property lines a distance not less than the height of the tower or pole. Said tower or pole shall be setback from a residential structure and any abutting residential zoning boundary a distance not less than twice the height of the tower or pole.
15.
Wind energy conversion system.
16.
Drive-through facilities for retail pharmacies for the drop-off of prescription orders and pick-up of prescription medications and over-the-counter medical items.
17.
Restaurant drive-through facilities for window service or prepared and packaged food where said foods are not consumed on the premises and drive-in restaurants or food stands catering to customers with facilities for parking on the premises for consumption of food in motor vehicles.
18.
Health clubs — over 10,000 square feet in total floor space.
D.
Conditions of Use. The above uses are subject to the following conditions:
1.
Dwelling units, other than those located in a transient hotel or motel, are not permitted below the second floor;
2.
Not more than six thousand two hundred fifty square feet in the aggregate of gross floor area per establishment shall be devoted to the production or processing of goods or products;
3.
All activities involving production, processing, cleaning, servicing, testing or repair of materials, goods or products shall be conducted without danger from fire, explosion, offensive noise, vibration, smoke, dust, odors, heat, glare or other objectionable conditions beyond the boundaries of the premises upon which the use is located;
4.
All production, processing, cleaning, servicing, testing, or repair of materials, goods or products shall take place within completely enclosed buildings, except for storage of building materials and except for the parking of motor vehicles in the open. The outside display and sale of liquefied petroleum gas, including propane containers, is permitted subject to the conditions and standards set forth in Section 17.44.020.D.5.
E.
Maximum Floor Area Ratio. The maximum floor area ratio of buildings and structures on a zoning lot shall be .80.
F.
Yards.
1.
No building or structure shall be erected or maintained within twenty-five feet of the right-of-way of any street; the twenty-five foot strip shall be landscaped (sodded, planted and shrubbed). At any point along the wall of the building closest to the right-of-way measured at right angles to the right-of-way for every three feet that point is moved away from the twenty-five foot setback, the twenty-five foot landscaped area at that point may be decreased one foot in size. At no time shall there be less than a twelve foot landscaped area adjacent to the entire length of the right-of-way, with the exception of the paving needed for ingress and egress. At no time shall a building be constructed or maintained at a distance from the right-of-way less than that equal to its height.
2.
A rear yard shall be provided for residential uses located above the first floor; such yard shall be no less than thirty feet in depth.
G.
Transitional Yards.
1.
Where a rear or side lot line coincides with a side or rear lot line in an adjacent residential district, a buffer strip of not less than twelve feet wide shall be provided. Such buffer strip shall be sodded, planted, shrubbed and maintained and there shall be provided adjacent to the residential district boundary line a solid wall, fence or hedge constructed and maintained to form a screen not less than six feet in height. Such screen shall be required prior to issuance of a certificate of occupancy. A temporary certificate of occupancy may be issued if the Village Forester determines the installation of said screen may be delayed due to seasonal conditions. If a solid wall or fence is utilized, it shall be placed immediately adjacent to the property line unless otherwise approved by the Village due to one or more of the following circumstances:
a.
The nature of the use would be detrimental to the required landscaping thereby requiring the landscaped area to be located outside the wall or fence.
b.
The impact of the close proximity of adjacent uses would be reduced if some or all of the landscaped area was located outside the wall or fence.
c.
The general appearance of the area would be enhanced by locating the wall or fence other than immediately adjacent to the property line.
2.
At no time shall a building be constructed or maintained at a distance from the residential district boundary less than that equal to its height.
3.
Transitional yards shall be unobstructed from the lowest level to the sky.
H.
Height Regulations. No building shall exceed three stories or forty-five feet in height, whichever is less.
(Ord. 2004-80 § 5, 2004; Ord. 2002-27 §§ 5, 6, 2002)
(Ord. No. 2014-39, § 1, 5-19-2014; Ord. No. 2016-008, § 3, 2-22-2016)
A.
The regulations set forth in this section are the district regulations of the B-5 town center planned district.
B.
Purpose. The B-5 town center planned district is intended to provide for the development of a pedestrian oriented central district. The district shall be defined as the area bounded by Lake-Cook Road on the south, IL Route 83 on the east, and Buffalo Grove Road on the west, but not including Lot 1 of the Town Center Subdivision and that part of the southwest quarter of the northwest quarter of Section 33, Township 43 North, Range 11 East of the Third Principal Meridian, described as follows:
The East line of Buffalo Grove Road is considered as "DUE NORTH" for the following courses. Beginning at the intersection of the said east line of Buffalo Grove Road, being forty feet east of the centerline thereof and the southwesterly curved line of IL Route 83, being forty feet southwesterly of the centerline thereof; thence southeasterly along said southwesterly curved line of IL Route 83 convex to the southwest and having a radius of 2,904.93 feet, a distance of 60.98 feet to a point of reverse curve equals the point of beginning of this tract of land; (the radius of the reverse curve being 25 feet and is tangent to the aforesaid east line of Buffalo Grove Road): thence continuing southeasterly along the southwesterly curved line of said IL Route 83 of said radius of 2,904.93 feet, a distance of 129.85 feet; thence south 47° 37′ East, tangent to said curve, 174.17 feet to a point, thence South 71° 18′ 40″ West, 280.0 feet to a point in the aforesaid East line of Buffalo Grove Road; thence due north on said line, 279.07 feet to the point of curve of the aforesaid curve of radius of 25 feet; thence northeasterly on said curve, convex to the north, a distance of 58.88 feet to the point of beginning; in Lake County, Illinois, containing one acre.
The junction of IL Route 83 and Buffalo Grove Road defines its location on the north.
C.
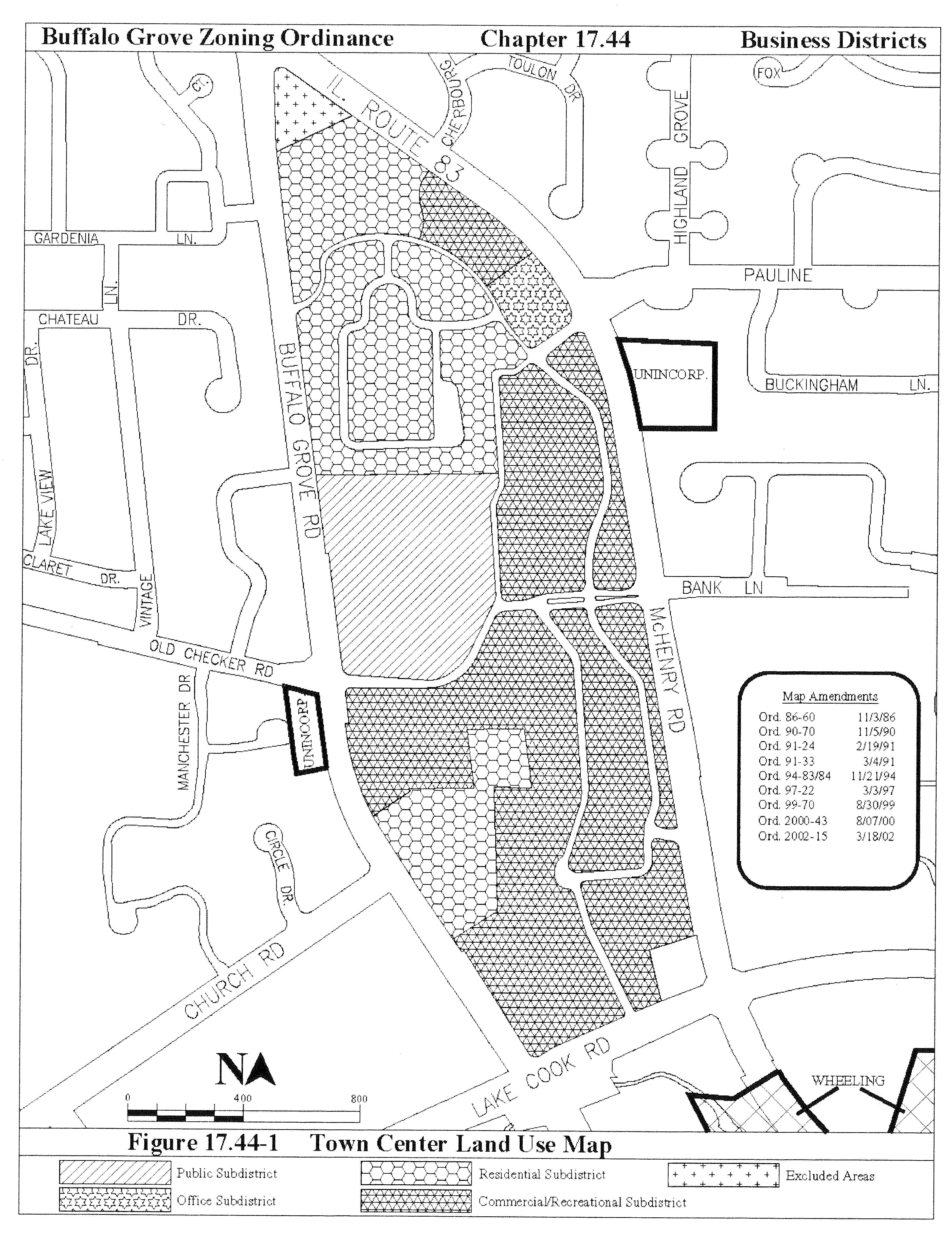
Establishment of Land Uses Within the Town Center. In order to classify, regulate and restrict the location of uses and the location of buildings designated for specific uses, to regulate and limit the height and bulk of buildings hereafter erected, to regulate and limit by the intensity of the use of the lot area, and to regulate and to establish public roadways, walkways and other amenities such as yards, courts and other open spaces within the surroundings of such buildings, the Town Center is hereby divided into the following subdistricts listed hereinafter and indicated on the Town Center Land Use Map. (See Figure 17.44-1)
1.
Permitted Uses.
a.
Residential.
Botanical gardens.
Bus shelters.
Multiple family dwellings.
Nursing homes.
Parks and playgrounds.
b.
Commercial/Recreational.
Antique shops.
Art and school supply stores.
Art gallery.
Auditoriums.
Bakeries and confectionaries, retail.
Banks, not drive-in.
Barber and beauty schools.
Barber shops.
Beauty parlors.
Bicycle and accessories sales and service store.
Book stores.
Botanical gardens.
Bowling alleys.
Bus shelters.
Camera and photographic supply stores.
Child care centers.
China, glassware and metalware stores.
Clothing stores.
Coin and stamp stores.
Community and recreation centers.
Delicatessens.
Department stores.
Dinner theaters.
Dry goods stores.
Electrical appliance shops.
Floor covering stores.
Florist and plant shops, retail.
Furniture stores.
Furriers and fur apparel stores.
Gift, novelty and souvenir stores.
Hardware stores.
Health clubs - under 10,000 square feet of total floor space.
Hobby shops.
Home decorating.
Hotel and motel.
Jewelry stores.
Kitchen and bath cabinet showrooms.
Leather shops.
Luggage and suitcase stores.
Medical appliances and supply stores.
Movie and drama theaters.
Parks and playgrounds.
Museums.
Musical instrument stores.
Newspaper and magazine stands.
Nonacademic schools, classes and instruction
Office supply stores.
Optical goods stores.
Outdoor restaurants.
Outdoor theaters, festival drama, excluding movies.
Paint and wall covering stores.
Personal wireless communications facilities and cellular telephone facilities, including antennas, for use with radio and/or other transmitting and receiving equipment, on public property, quasi-public property and property owned by a public utility when located within a building or on the exterior of a building, provided that any structure or equipment mounted on a building shall be not more than fifteen feet higher than the roof of the building or extend more than fifteen feet from the sides of a building. The building-mounted facilities are subject to the provisions of the Village Appearance Plan.
Pet shops.
Pharmacies.
Photographic studies.
Record shops.
Rectory.
Restaurants, with/without dancing and entertainment.
Roller and ice skating rinks.
Savings and loan institutions, not drive-in.
Shoe repair shops.
Shoe stores.
Specialty shops.
Sporting goods stores.
Stationery stores.
Tailoring and dressmaking stores.
Tennis, racquetball, handball, swimming and other private recreational clubs.
Tobacco shops.
Tool and appliance retail centers.
Toy stores.
Travel bureaus.
c.
Office.
Banks, savings and loans, financial institutions (exclusive of drive-in facilities).
Botanical gardens.
Bus shelters.
Business offices.
Medical offices, clinics and laboratories.
Professional offices.
Parks and playgrounds.
d.
Public.
Botanical gardens.
Bus shelters.
Churches, synagogues and temples.
Community and recreation centers.
Libraries.
Parks and playgrounds.
Postal facilities.
Public offices.
e.
Special Uses. The following uses are allowed subject to the procedure set forth in Chapter 17.28.
1.
Mixed occupancies: residential/commercial; residential/office; residential/commercial/office; commercial/office.
2.
Auxiliary drive-in banking, savings and loan and financial establishments in commercial and office sub-districts.
3.
Public utility facilities.
4.
Wind energy conversion systems.
5.
Bakery operations including production, wholesale and storage uses and drive-through service window facilities in the Commercial/Recreational sub-district.
6.
Funeral homes in the Commercial/Recreational sub-district.
7.
Liquor stores in the commercial/recreational sub-district.
8.
Drive-through facilities for retail uses, including restaurant drive-through facilities for window service of prepared and packaged foods, in the commercial/recreational sub-district.
9.
Supermarkets and food stores in the commercial/recreational sub-district.
10.
Drive-through facilities for retail pharmacies for the drop-off of prescription orders and pick-up of prescription medications and over-the-counter medical items in commercial/recreational sub-district.
11.
Family entertainment center, in the commercial/recreational sub-district, subject to the following conditions:
Security management: The facility, including adjacent outdoor areas, shall be managed to maintain the safety of customers and to avoid the creation of nuisances affecting adjacent properties and businesses. The Village shall be notified prior to the staging of dance parties and similar activities and special events, and specific provisions to properly manage said events and activities shall be included in the security plan.
The Local Liquor Control Commissioner shall be provided with the protocol(s) to be implemented regarding the sale and consumption of alcoholic beverages within area(s) identified or set aside for dance parties and similar activities and special events. Protocol(s) shall be subject to the Local Liquor Control Commissioner's approval.
A security plan (including, but not by way of limitation, adult security personnel), subject to approval by the Village is required prior to issuance of a certificate of occupancy. The Village may, in its discretion, from time to time review the security plan and require appropriate changes. Failure to make required changes or failure to implement such changes to the approved security plan may result in the revocation of the business license.
12.
Churches, synagogues and other places of public worship in the commercial/recreational sub-district provided that the special use is limited to the second floor area of the building.
13.
Health clubs - over 10,000 square feet of total floor space.
f.
Similar and Compatible Uses. Other retail or service uses not specifically permitted herein may be allowed if said uses are determined by the Village Zoning Administrator to be similar to and compatible with the established uses in the B-5 District.
D.
Bulk Requirements.
1.
Any development in the district shall comply with the following minimum requirements and standards in addition to all applicable Village ordinances:
a.
The development plan shall be laid out and developed as a unit in accordance with an integrated overall design. The location and arrangement of buildings, parking areas, walks, lighting and appurtenant facilities shall be adjusted to the surrounding land uses and any part not used for buildings, other structures, parking and loading areas, or access-ways shall be landscaped with grass, trees, shrubs, and pedestrian walks to create a character in total harmony with the Town Center concept.
b.
District requirements:
c.
Mixed or separate uses may be provided within a specific district as a special use within that district provided that the separate requirements of each use are adhered to in relation to the use served.
d.
Any lot zoned within the Village whether or not platted in a subdivision prior to the adoption of this Title, which does not meet the minimum lot area requirement as stipulated in this Title will not be subject to such requirement.
e.
No merchandise, materials, or equipment shall be stored in any open area. The outside display and sale of liquefied petroleum gas, including propane containers, is permitted subject to the conditions and standards set forth in Section 17.44.020.D.5.
f.
All off-street parking and loading areas shall be properly illuminated in accordance with sound planning and engineering practices. The type of luminaries, shielding, pole height and design, uniformity ratio and the entire lighting scheme shall be in accordance with the Criteria of Appearance contained in Section 17.44.060.E.4.
g.
No principal building in a district other than residential shall exceed seventy-five feet in height; no principal building in a residential district shall exceed one hundred feet in height; no accessory building in any district shall exceed thirty feet in height.
h.
The specifications for the width and surfacing of streets and highways, alleys, ways for public utilities, for curbs, gutters, driveways, sidewalks, street lights, public parks and playgrounds, school grounds, stormwater drainage, stormwater detention and/or retention facilities, water supply and distribution, sanitary sewers and sewage collection and treatment established by ordinance of the Village shall govern.
i.
All primary light sources illuminating the buildings and the development shall be erected and maintained in accordance with acceptable engineering practices and shall be so placed, designed and used that neither the direct or reflected light therefrom will adversely affect surrounding property or create a traffic hazard. All primary lighting shall be provided in accordance with the Criteria of Appearance contained in Section 17.44.060.E.4.
j.
No building or structure shall be erected or maintained within twenty-five feet of any residential boundary line or within thirty-five feet of the right-of-way of any arterial highway containing or anticipated to contain four or more paved traffic lanes and no roadway or parking area shall be erected or maintained within twenty feet of the right-of-way of any arterial highway, or two paved areas. The buffer area shall be sodded, planted and shrubbed.
k.
A buffer strip not less than twenty-five feet wide shall be provided along any residential boundary line abutting or adjoining any boundary line of any commercial/recreational or office sub-district. Such buffer strip shall be sodded, planted and shrubbed in such a manner as to form a green area. This green area shall be bermed as defined in Section 17.44.060.E.3.
1.
Public utility easements. Proposed location for easements necessary to the development of the property to be served as recommended by the respective public utility companies shall be indicated on the plat.
E.
Criteria of Appearance.
1.
Goals and objectives.
a.
Excellence in design and planning, which may be achieved through appropriate innovation and imaginative concepts, will be encouraged. To accomplish this, the Criteria of Appearance has been developed for guidance to designers and planners of developments within the Town Center. The intent of this criteria is to produce a more logical and attractive use of one property that will be beneficial rather than detrimental to the surrounding area and the community.
b.
The purpose of these criteria is to establish a check list of those items which affect the physical and visual aspect of the Town Center environment. Pertinent to appearance is the design of the site, building and structures, planting, signs, street furniture and miscellaneous other objects which are observed by the public.
c.
These criteria are not intended to restrict imagination, innovation or variety, but rather to assist in focusing on design principles which can result in creative solutions that will develop and promote a visual appearance conducive with the overall design concept of the Town Center.
2.
Relationship of buildings to site and to adjoining areas.
a.
The site shall be planned to accomplish a desirable transition with the streetscape, and to provide for functional and harmonious planting, integral pedestrian movement, unobtrusive parking areas and continuity of a total design concept.
b.
Site planning in which setbacks and yards are in excess of zoning restrictions is encouraged.
c.
Parking areas shall be treated with decorative elements, building wall extensions (screen walls), plantings, berms or other innovative means so as to largely screen parking areas from view from public ways.
d.
The height and scale of each building shall be compatible with its site and adjoining buildings. Spacing between buildings and heights of buildings shall be of good transitional nature.
e.
Newly installed utility services, and service revisions necessitated by exterior alterations, shall be constructed underground.
f.
Attractive smooth landscape transition to adjoining properties shall be provided.
3.
Landscape and site treatment. Landscape elements included in the following criteria consist of all forms of planting and vegetation, ground forms, rock groupings, water patterns, and all visible construction except buildings and utilitarian structures.
a.
Where natural or existing topographic patterns contribute to the beauty and utility of a development, they shall be preserved, enhanced and developed. Modification to topography will only be permitted where it contributes to appearance or is necessitated by engineering considerations.
b.
Grades and slopes of walks, parking spaces, terraces and other paved areas shall provide an inviting and comfortable physical environment for pedestrians as well as for proper drainage.
c.
Landscape treatment shall be provided to enhance architectural features, strengthen vistas and important axis. Spectacular effects shall be reserved for special locations only.
d.
Unity of design shall be achieved by repetition of certain plant varieties and other landscape materials, and by correlation with adjacent developments.
e.
Plant material shall be selected for interest in its structure, texture, mass, scale, height and seasonal color. Plants should be indigenous to the area, hearty, harmonious to the design, of good appearance and shall be approved by the Village Forester and/or Landscape Architect.
f.
In locations where plants will be susceptible to injury by pedestrian or motor traffic, they shall be protected by appropriate curbs, tree guards or other devices.
g.
Parking areas and traffic ways shall be enhanced with landscaped spaces containing streets or tree groupings. Shrubs shall be used so as not to obscure vision at intersections. Parking areas in residential and office districts shall be screened from vehicular traffic ways and pedestrian ways by the introduction of earth berms. These berms shall be a minimum of three feet high with a maximum slope of three to one. Parking areas in commercial districts shall be screened from residential and office districts as indicated above.
(i)
All parking areas shall have internal landscaping to channelize and define logical areas for pedestrians and vehicular circulation and to provide areas for accumulation of snow.
(ii)
Interior landscaping shall account for a minimum of seven percent of the parking area. All interior landscaping shall be protected from vehicular encroachment by curbing or similar means and should be raised above the grade of the parking spaces.
(iii)
Space shall be provided for one tree for every forty feet of frontage or fraction thereof. Spacing of trees, however, shall not exceed sixty-five feet. Trees shall have a minimum height of six feet and a minimum diameter of two and one-half inches measured one foot above grade level.
h.
In areas where general planting will not prosper, other materials such as fences, walls and pavings or wood, brick, stone, gravel and cobbles shall be used. Carefully selected plants shall be combined with such materials where possible.
i.
Planting in rights-of-way shall be integrated into the overall landscape treatment. All right-of-way plantings shall be approved by the agency having jurisdiction over said right-of-way.
4.
Lighting.
a.
Exterior lighting, when used, shall enhance the building design and the adjoining landscape. Lighting standards and fixtures shall be of a design and size compatible with the building and adjacent areas. Lighting shall be restrained in design, and excessive brightness and brilliant colors avoided. Lighting levels shall be reduced to 0.2 foot candles between the hours of 11:00 p.m. and 7:00 a.m. where adjacent to residential districts.
b.
Lighting of off-street parking areas is required. Lighting used to illuminate vehicular traffic ways shall be directed away from adjoining and adjacent property, streets and other public rights-of-way. All lighting units shall be of a full cut-off type, with a maximum pole height of thirty feet.
c.
The illumination level for all off-street parking areas shall be a minimum average of one-foot-candle maintained to a maximum average of three-foot-candles maintained. A uniformity ratio of four to one, or better, between the average foot candle level and the minimum foot candle level is also required.
d.
Pedestrian lighting shall be in accordance with the lighting levels established in Table II of the Illuminating Engineering Society's Standards for Roadway Lighting (hereby adopted by reference). Maximum pole height shall be twelve feet.
Luminaire, light source and pole design shall create a continuity and relationship to surroundings consistent with the intent of the Town Center. Poles and luminaires selected shall be vandal resistant.
e.
Landscape or ground lighting shall be designed to harmonize with the overall landscape and lighting design. Fixtures used shall be vandal resistant and securely fastened to wiring system.
5.
Building design.
a.
Architectural style is restricted to structures of harmonious design. Evaluation of appearance of a project shall be based on quality of its design, creativity, innovation, continuity and relationship to surroundings consistent with the intent of the Town Center.
b.
Harmony in material, texture, lines, colors and masses is required. Monotony shall be avoided. Variation of detail, form and siting shall be used to provide visual interest.
c.
Materials shall be selected for suitability to the type of buildings and the design in which they are used.
d.
The design of all buildings and structures shall address itself to the consistent and thoughtful design development of all surfaces of the structure and volumetric relationships, to include, but not be limited to: general shape, form, materials, colors and appearance.
e.
Mechanical equipment, antennas, towers and other utility hardware on the roof of buildings shall be screened from public view with materials harmonious with the building.
f.
All ground located mechanical equipment, trash receptacles and storage areas, service yards, parking areas, loading docks and ramps, electrical cage enclosures, electrical equipment, telephone equipment, incinerators and similar equipment for the disposal of materials, storage tanks and other areas which tend to be unsightly shall be screened from view from access streets and adjacent properties and the subject property by means of a fence, berm, wall or dense, opaque landscape material.
g.
Exterior building lighting and signage shall be part of the architectural concept. Fixtures, standards and all exposed accessories shall be harmonious with building design.
h.
Inappropriate, incompatible, bizarre and exotic designs shall be avoided.
i.
The design of all porches, balconies, patios and similar outside spaces shall be integral to the building design and not appear as appendages.
6.
Miscellaneous structures and street furniture.
a.
Miscellaneous structures include any structures, other than buildings, visible from any public way or ways. Street furniture includes all objects not commonly referred to as structures and located in streets and public ways and outside buildings including but not limited to benches, bollards, tree grates, kiosks, pavilions and directories.
b.
Miscellaneous structures and street furniture located on private property shall be designed to be part of the architectural concept of design and landscape. Materials, scale, mass and colors shall be compatible to, and enhance the continuity and relationship to, surroundings consistent with the intent of the Town Center concept.
c.
Miscellaneous structures and street furniture located in public ways and other public property shall be harmonious with design of adjacent buildings and other structures and Village landscape.
d.
Lighting in connection with miscellaneous structures and street furniture shall meet the criteria applicable to site, landscape, buildings and signs.
7.
Maintenance—Planning and design factors.
a.
Continued good appearance depends upon the extent and quality of maintenance. The choice of materials and their use, together with the types of finishes and other protective measures, must be conducive to easy maintenance and upkeep.
b.
Materials and finishes shall be selected for their durability and wear as well as for their beauty. Proper measures and devices shall be incorporated for protection against the elements, neglect, damage and abuse.
c.
Provision for washing and cleaning of buildings and structures, and control of dirt and refuse, shall be included in the design. Such configurations that tend to catch and accumulate debris, leaves, trash, dirt and rubbish shall be avoided.
d.
Through proper engineering and site grading, a parcel of land can be designed to prevent standing water. In order to insure against future accumulations of stagnant water, care should be exercised in the maintenance of all drainage elements including pavement, structures and earth berms.
e.
Through the careful selection of plant material for their heartiness and appropriateness as well as their beauty, planting areas can be maintained free of species of weeds or plant growth which are noxious or detrimental to the public health. This shall include not only planting areas within the property, but also those planting areas in the rights-of-way.
f.
In order to maintain the design character of the Town Center during construction and until the entire area is developed, proper measures and devices must be incorporated into each developer's program to control, screen and dispose of all construction refuse associated with the construction process.
g.
All landscaped areas shall be provided with an irrigation system or a readily available water supply with at least one outlet located within one hundred fifty feet of the plant material.
h.
All plant material that is dead or damaged shall be replaced immediately. Plant material shall be replaced no later than thirty days after notification by the Village of a violation of this section when planting conditions permit, and in no event later than ninety days.
F.
Development Procedures Within the Town Center.
1.
Pre-application conference. Prior to filing a formal application the applicant comply with the following:
a.
Applicant will contact and meet with the Village Manager, and appropriate planning and engineering staff, to identify land use objectives.
b.
The applicant will meet with the Corporate Authorities.
2.
The purpose of a pre-application conference is to provide advice and assistance to the applicant before presentation of the preliminary plan, so that the applicant may determine:
a.
Whether the proposed project appears in general to be in compliance with the provisions of this Title.
b.
Whether the proposed project will be in conformity with the land use policies and objectives of the Village, as expressed in the Town Center Land Use Map. (See Figure 17.44-1)
3.
Application.
a.
Following the pre-application conferences, application for approval of a planned unit development shall be filed with the Village Clerk in accordance with the provisions of this Title and prior to scheduling before the Corporate Authorities and Planning and Zoning Commission.
b.
Submissions. An application must be accompanied by twenty copies of a preliminary plan and all related materials and an application fee.
4.
Preliminary plan.
a.
A preliminary plan is required of any applicant for approval of a planned unit development. The preliminary plan shall include, as a minimum, the following:
(i)
An accurate topographic and boundary line map of the project area and a location map showing its relationship to surrounding properties within two hundred fifty feet in all directions of said property.
(ii)
An accurate legal description of the entire area within the planned unit development.
(iii)
The pattern of public and private roads, driveways and parking facilities and intended design standards.
(iv)
The use, type, size, arrangement and location of lots or of proposed buildings or groups of buildings.
(v)
General description of proposed landscaping.
(vi)
The location, design, height, type and level of illumination for all building and site lighting.
(vii)
The location of sewer and water facilities.
(viii)
Architectural drawings and sketches illustrating the design and character of proposed structures. This is to include the presentation of all materials and colors.
(ix)
The location and size of recreational and open space areas and areas reserved for public uses such as schools, parks and open space to be owned and maintained by a property owners' association.
(x)
Existing topography and storm drainage pattern and proposed storm drainage system showing basic topographic changes and proposed method of compliance with the Village's stormwater detention ordinances.
(xi)
Statistical data for the project shall include:
Gross site area,
Net site area dedicated streets and rights-of-way,
Green net site areas and percentages,
Ground coverage areas and percentages,
Total building area,
Floor area ratio,
Parking ratios (with stall size and aisle indications and locations),
Loading berth requirements,
Building heights,
Water retention/detention plans and specifications,
Other similar data pertinent to a comprehensive evaluation of the proposed development.
(xii)
A copy of the organizational structure related to property owners' association deed restrictions and provisions of services. The maintenance of common open space area and of provisions relating to future use of private property (additions, expansion, changes in use) shall be fully set forth in such documents.
(xiii)
A statement of the applicant's plans with regard to the future selling or leasing of all or portions of the planned unit development, such as land areas and building sites.
(xiv)
A development schedule indicating the approximate date when construction of the planned unit development or stages of the planned unit development can be expected to begin and be completed.
(xv)
A traffic survey setting forth and analyzing the effects of the proposed planned unit development. Such survey shall not be limited to the effect on adjacent streets but shall extend to all of the surrounding areas affected and shall indicate the anticipated points of origin, the direction and volume of traffic flow to and from the planned unit development.
(xvi)
Statement of the manner, if any, in which the planned unit development varies from the regulations of the Zoning Ordinance and an explanation of the reasons for such variations.
(xvii)
A tax impact report utilizing a Village approved formula.
(xviii)
A market analysis, feasibility report and statement of proposed financing.
(xix)
Site and surrounding environs photographs.
b.
Upon petition from the applicant, the Planning and Zoning Commission may waive submission of any of the materials set forth above as required to be included within the preliminary plan except for the development schedule (xiv.) and the statement on variations (xvi.)
5.
Planning and Zoning Commission Review (hereinafter called Commission).
a.
Workshop Session.
(i)
The Commission shall within thirty days of referral by the Corporate Authorities of a land use plan, schedule a workshop session for Commission and Village departmental review based on a full and complete application.
(ii)
Within thirty days of the completion of the last workshop session, the Commission shall schedule a public hearing subject to the submission of all materials pursuant to Section 16.20.030.
b.
Public Hearing. A public hearing shall be held as set forth in Chapter 17.64.
c.
Recommendation of the Planning and Zoning Commission.
(i)
Timing. Within thirty days after the close of the hearing, the Commission shall forward to the Corporate Authorities a copy of their written findings along with a recommendation.
(ii)
Conditions. The Commission may include in the recommendation such stipulations or conditions as deemed necessary for the protection of the public interest.
(iii)
Required Findings. A planned unit development shall not be recommended for approval unless the Commission shall find the following:
Effect on community—That the proposed planned unit development will not be significantly or materially detrimental to or endanger the public health, safety or general welfare of the community. This shall include consideration of the impact of the development upon physical development, tax base, and economic well-being of the Village; and
Effect on neighborhood—That the proposed planned unit development will not be injurious to the use and enjoyment of other property in the immediate vicinity for the purposes already permitted nor will it diminish or impair property values within the neighborhood; and
Effect on development of surrounding property—That the proposed planned unit development will not impede the normal and orderly development and improvement of surrounding property; and
Adequacy of utilities and facilities—That the applicant has demonstrated that adequate sewer and water, access roads, drainage and other necessary facilities are present or will be provided; and
Adequacy of ingress and egress—That the applicant has demonstrated that adequate means of ingress and egress designed to handle the traffic contemplated are present or will be provided; and
Conformity to regulations—That the proposed planned unit development meets all the regulations of this Title.
G.
Corporate Authorities Action.
1.
Public Hearing. A public hearing will be scheduled if necessary.
2.
Corporate Authorities Decision.
a.
The Corporate Authorities, after receipt of the Preliminary Plan and the recommendation of the Commission, shall approve, with such modifications as may be consented to by the applicant, or disapprove such preliminary plan.
b.
An ordinance approving and establishing a planned unit development shall specify the zoning regulations and restrictions that will, pursuant to the development plan, apply to the planned unit development. Such ordinance shall also specify the conditions and restrictions that have been imposed by the Corporate Authorities on the planned unit development and the extent to which the otherwise applicable district regulations have been varied or modified. When the Planning and Zoning Commission has designated divisible geographic sections of the development that may be developed as a unit, the ordinance may authorize the Planning and Zoning Commission to modify the schedules of development.
3.
Effect of Approval. Approval of a preliminary plan shall not constitute final approval. No building permit shall be issued for any structure until a development plan has been filed and approved.
4.
Effect of Denial. No application for approval of a planned unit development which is denied by the Corporate Authorities for any reason shall be resubmitted in substantially the same form and/or content.
H.
Development Plan.
1.
Time Limit. A development plan shall be submitted to the Commission by the applicant not later than one year (or such additional time as may be authorized by motion of the Corporate Authorities), after approval of the preliminary plan.
2.
Contents. The development plan shall contain in final form the information required in Section 16.20.060 of the Village Development Ordinance.
3.
Procedure.
a.
The development plan shall be approved pursuant to Sections 16.20.070 through 16.20.130 of the Village Development Ordinance.
b.
Likewise, all documents, all covenants, easements, agreements and other documents affecting the planned development shall be recorded in the Office of the Recorder of Deeds of the county in which the planned unit development is located.
c.
From time to time the applicant may make minor changes in the preliminary plans submitted herein, but any such changes shall be made only with the approval of the Zoning Administrator or, upon his or her denial thereof, with the approval of the Corporate Authorities.
(Ord. 2006-13 § 2, 2006; Ord. 2004-100 § 22, 2004; Ord. 2002-27 § 2, 2002)
(Ord. No. 2010-9, § 2, 2-22-2010; Ord. No. 2013-8, § 3, 2-4-2013; Ord. No. 2013-34, § 1, 6-17-2013; Ord. No. 2014-39, § 1, 5-19-2014; Ord. No. 2014-43, §§ 32—35, 6-16-2014; Ord. No. 2016-008, § 3, 2-22-2016)
44 - BUSINESS DISTRICTS
Sections:
A.
The business districts set forth herein are established to protect public health; to promote public safety, comfort, convenience; and the general welfare; and to protect the economic base of the Village and the value of property. These general purposes include, among others, the following specific objectives:
1.
To promote the most desirable use of land in accordance with a well considered plan so that adequate space is provided in appropriate locations for the various types of business uses, thereby protecting and strengthening the economic base of the Village.
2.
To place in separate districts those businesses which may create noise, odors, hazards, unsightliness, or which may generate excessive traffic.
3.
To permit selected business uses in districts where adjacency to or inclusion in a residential area has sufficient elements of service or convenience to such areas to offset any disadvantage.
4.
To encourage the grouping in appropriate locations of compatible business uses which will tend to draw mutually interchangeable trade and so promote public convenience and business prosperity and contribute to the alleviation of traffic and pedestrian congestion.
5.
To promote the establishment of off-street parking facilities permitted and required so as to alleviate traffic congestion and so promote shopping convenience and business prosperity.
A.
The regulations set forth in this section, or set forth elsewhere in this Title when referred to in this section, are the district regulations in the B-1 business district, limited retail.
B.
Permitted Uses. No building or land shall be used and no building shall be erected, structurally altered or enlarged unless otherwise provided in this Title except for the following uses:
1.
Retail and Service Uses, as follows:
Animal hospitals.
Art and school supply stores.
Art galleries.
Auction rooms.
Banks and financial institutions, not including drive-through service facilities.
Barber shops.
Beauty shops.
Bicycle shops and bicycle service shops excluding those which sell and/or service motorized vehicles and/or motorized bicycles.
Book or stationery stores.
Camera and photographic supply stores.
Carpet, rug and linoleum stores.
Child care centers.
China and glassware stores.
Coin and philatelic stores.
Currency exchanges.
Custom dressmaking and millinery shops.
Department stores.
Drug stores.
Dry-cleaning and laundry-receiving stations; processing to be done elsewhere.
Dry goods or notion stores.
Electrical and household appliance stores, including radio and television sales.
Florist shops and conservatories.
Food stores—grocery stores, meat markets, bakeries (retail), candy and ice cream shops, delicatessens and frozen food stores including locker rental in conjunction therewith.
Furrier shops, including the incidental storage and conditioning of furs.
Furniture stores, including upholstering when conducted as part of the retail operations and secondary to the principal use.
Garden supply and seed stores.
Gift shops.
Haberdasheries.
Hardware stores.
Health clubs - under 10,000 square feet in total floor space
Hobby shops, for retail of items to be assembled or used away from the premises.
Interior decorating shops, including upholstering and making of draperies, slip covers and other similar articles when conducted as part of the retail operations and secondary to the principal use.
Jewelry stores, including watch repairs.
Leather goods and luggage stores.
Liquor stores, package goods only.
Locksmith shops.
Massage establishments
Medical and dental clinics.
Musical instrument stores, including minor repair.
Nonacademic schools, classes and instruction
Office supply stores.
Optician shops.
Paint and wallpaper stores.
Photographer.
Public baths
Restaurants, tearooms, outdoor sidewalk cafes, and outdoor garden cafes, conducted accessory to indoor establishments. Drive-in restaurants or food stands catering to customers with facilities for parking on the premises for consumption of food in autos shall not be permitted.
Sewing machine stores, household machines only.
Shoe and hat repair stores.
Shoe stores.
Sporting goods stores.
Swimming pools (Public).
Taverns.
Tobacco shops.
Toy stores.
Wearing apparel shops.
Variety stores.
2.
Offices—business and professional.
3.
Miscellaneous uses:
Clubs and lodges (nonprofit), fraternal or religious institutions.
Meeting halls.
Commercial radio and television broadcasting stations (excluding transmitting or antenna towers) except as a special use as specified in Section 17.44.020.C.11.
4.
Residential uses: dwelling units, if business uses, or premises designed for such uses, occupy the ground floor.
5.
Uses customarily incidental to principal permitted uses:
Accessory uses.
Home occupations.
Temporary buildings for construction purposes for a period not to exceed the duration of such construction.
6.
Any other similar type retail store, office or service establishment not specifically permitted herein, but which is compatible with the established uses in the surrounding area.
C.
Special Uses.
1.
Auditorium, stadium, arena, armory, and other similar places for public events.
2.
Bus terminal, railroad passenger station, freight terminal or any other public transportation terminal facilities.
3.
Churches and places of public worship on zoning lots having a minimum area of forty thousand square feet, having not more than twenty-five percent of the zoning lot occupied by building, and having sufficient land area to provide for both building space and off-street parking requirements.
4.
Convents, monasteries, rectories or parish houses.
5.
Golf course (including miniature golf courses), public or private.
6.
Public or privately owned recreation building or community center.
7.
Police or fire station.
8.
Public buildings, including art gallery, library, museum or similar structures.
9.
Public park, playground or club.
10.
Public or privately owned and operated recreation area, fairgrounds, permanent carnivals, "kiddie parks," or other similar amusement centers.
11.
Public utility facilities.
12.
Business planned unit development.
13.
Wind energy conversion system.
14.
Drive-through facilities for retail pharmacies for the drop-off of prescription orders and pick-up of prescription medications and over-the-counter medical items.
15.
Adult-use cannabis dispensary pursuant to Section 17.28.080, provided that they are located on sites with frontage along the following major streets: Lake-Cook Road, IL Route 68 (Dundee Road) or IL Route 45 (Milwaukee Avenue).
D.
Conditions of Use. All uses permitted in this district (except residential and special uses) shall be retail establishments dealing directly with consumers and shall be subject to the following conditions:
1.
Dwelling units are not permitted below the second floor.
2.
There shall be no manufacture, processing or treatment of products other than those which are clearly incidental and essential to the retail business conducted on the same premises.
3.
Not more than three persons (exclusive of managers, clerks, and drivers) shall be engaged in said manufacture, processing or treatment of products.
4.
Such uses, operations or products shall not be objectionable due to odor, dust, smoke, noise, vibration or other similar causes.
5.
All activities as permitted or required shall be conducted within an enclosed building, except as allowed herein. The outside display and sale of liquefied petroleum gas, including propane containers, is permitted subject to the following conditions and standards:
a.
A facility shall comply with applicable codes and regulations as determined by the Village Fire Department and Building and Zoning Department. Signs pertaining to safety and hazard control shall be provided as approved by the Fire Department. If the Fire Department determines that protective barriers are necessary, said barriers shall be installed as approved by the Village.
b.
A permit is required by the Village prior to installation of a facility. The permit application shall include a site plan drawn to scale delineating the area to be occupied by the facility, the height, length and depth dimensions of the facility, the location and distance to the closest windows and doors of the adjacent building, the location of the closest parking areas for motor vehicles, the location of any other adjacent improvements including bicycle racks, and the width of the sidewalk where the facility will be located.
c.
A facility shall meet the following standards: The maximum size is limited to a length of seven feet, six inches and a maximum height of six feet as measured from the base of the facility; sidewalks adjacent to the facility shall have a minimum clearance of five feet in width for pedestrian access, and said clearance shall not be reduced by motor vehicle overhang or placement of any items on the sidewalk.
d.
The facility is subject to appearance review by the Village. The facility shall be visually unobtrusive as determined by the Village. The facility shall be the same or similar color as the adjacent building wall or surface. Signs advertising the product or vendor shall be limited to ten percent of the front elevation area for each individual cabinet or cage. Signs are allowed only on the front elevation of the cabinet or cage and shall not be placed above the cabinet or cage or on building walls or windows.
E.
Minimum Lot Sizes. Every zoning lot for a building hereafter erected or enlarged shall contain a minimum of ten thousand square feet. Buildings containing mixed residential and business uses shall be located on a lot having an area of not less than two thousand square feet per dwelling unit.
F.
Maximum Floor Area Ratio. The maximum floor area ratio of buildings and structures on a zoning lot shall be one-half.
G.
Yards.
1.
No building or structure shall be erected or maintained within twenty-five feet of the right-of-way of any street. The twenty-five-foot strip shall be landscaped. At any point along the wall of the building closest to the right-of-way, measured at right angles to the right-of-way, for every three feet that point is moved away from the twenty-five-foot setback, the twenty-five-foot landscaped area at that point may be decreased one foot in size. At no time shall there be less than a twelve-foot landscaped area adjacent to the entire length of the right-of-way, with the exception of the paving needed for ingress and egress. At no time shall a building be constructed or maintained at a distance from the right-of-way less than that equal to its height.
2.
A rear yard shall be provided for residential uses located above the first floor; such yard shall be no less than thirty feet in depth.
H.
Transitional Yards.
1.
Where a rear or side lot line coincides with a side or rear lot line in an adjacent residential district, a buffer strip of not less than twelve feet wide shall be provided. Such buffer strip shall be sodded, planted, shrubbed and maintained and there shall be provided adjacent to the residential district boundary line a solid wall, fence or hedge constructed and maintained to form a screen not less than six feet in height. Such screen shall be required prior to issuance of a certificate of occupancy. A temporary certificate of occupancy may be issued if the Village Forester determines that installation of such screen may be delayed due to seasonal conditions. If a solid wall or fence is utilized, it shall be placed immediately adjacent to the property line unless otherwise approved by the Village due to one or more of the following circumstances:
a.
The nature of the use would be detrimental to the required landscaping, thereby requiring any landscaped area to be located outside the wall or fence.
b.
The impact of the close proximity of adjacent uses would be reduced if some or all of the landscaped area was located outside the wall or fence.
c.
The general appearance of the area would be enhanced by locating the wall or fence other than immediately adjacent to the property line.
2.
At no time shall a building be constructed or maintained at a distance from the residential district boundary less than that equal to its height.
3.
Where a rear lot line coincides with a rear lot line of property in an adjacent residential district, a yard shall be provided along such rear lot line. Such yard shall be no less than thirty feet in depth.
4.
Transitional yards shall be unobstructed from the lowest level to the sky.
I.
Height Regulations. No building shall exceed three stories or thirty-five feet in height, whichever is less.
(Ord. 2004-100 § 14, 2004; Ord. 2004-80 § 2, 2004)
(Ord. No. 2014-39, § 1, 5-19-2014; Ord. No. 2014-43, § 30, 6-16-2014; Ord. No. 2016-008, § 3, 2-22-2016; Ord. No. 2019-054, § 3, 10-21-2019)
A.
The regulations set forth in this section, or set forth elsewhere in this Title when referred to in this section, are the district regulations in the B-2 business district, general retail.
B.
Permitted Uses. No building or land shall be used and no building shall be erected, structurally altered, or enlarged unless otherwise provided in this Title, except for the following uses:
Any permitted use in the B-1 business district except animal hospitals.
Antique shops.
Art galleries and studios.
Auditorium.
Automobile service station.
Automobile wash.
Bicycle stores, including rental and repair.
Blueprinting and photostating establishment.
Business college or business school, operated as a business enterprise.
Caskets and casket supplies.
Catering establishments.
Clothing and costume rental shops.
Dry-cleaning establishments when employing facilities for the cleaning and pressing of dry goods for retail trade only, conducted on the premises.
Employment agencies.
Exterminating shops.
Feed and seed stores.
Frozen food locker, excluding wholesale storage.
Hospital or sanitarium.
Hotel and motel.
Laundromats, automatic or self-service type.
Loan offices.
Medical or dental clinics and laboratories.
Music conservatory or music instruction.
Newsstand.
Orthopedic, medical and surgical.
Personal wireless communications facilities and cellular telephone facilities, including antennas, for use with radio and/or other transmitting and receiving equipment, on public property, quasi-public property and property owned by a public utility when located within a building or on the exterior of a building, provided that any structure or equipment mounted on a building shall be not more than fifteen feet higher than the roof of the building or extend more than fifteen feet from the sides of a building. Such building mounted facilities are subject to the provisions of the Village Appearance Plan.
Pet shops.
Photograph developing and processing shops.
Picture framing establishments when conducted for retail trade on the premises only.
Plumbing showrooms.
Printing, lithographing or publishing establishments for letter press, business cards, mimeographing and other similar custom services.
Private club or lodge.
Post office.
Restaurants, not including drive-through or drive-in service.
Second-hand store.
Tailor shop.
Theatres, excluding drive-in theatres.
Ticket agencies—amusement.
Travel bureau and transportation ticket offices.
Upholstering shop.
Undertaking establishments, funeral parlors.
Wholesale merchandise broker, excluding wholesale storage.
Any other similar type retail store, office or service establishment not specifically permitted in this Chapter, but which has economic compatibility with the established uses on adjoining premises.
C.
Special Uses.
1.
Auditorium, stadium, arena, armory, , and other similar places for public events.
2.
Bus terminal, railroad passenger station, freight terminal or any other public transportation terminal facilities.
3.
Churches and places of public worship on zoning lots having a minimum area of forty thousand square feet; having not more than twenty-five percent of the zoning lot occupied by buildings, and having sufficient land area to provide for both building space and off-street parking requirements.
4.
Convents, monasteries, rectories or parish houses.
5.
Golf course (including miniature golf course) public or private.
6.
Public or privately owned recreation building or community center.
7.
Police or fire station.
8.
Public buildings, including art gallery, library, museum or similar structures.
9.
Public park, playground or club.
10.
Public or privately owned and operated recreation area, fairgrounds, permanent carnivals, "kiddie parks," or other similar amusement center.
11.
Public utility facilities.
12.
Business planned unit development.
13.
Wind energy conversion system.
14.
Drive-through facilities for retail pharmacies for the drop off of prescription orders and pick up of prescription medications and over-the-counter medical items.
15.
Amusement establishments—bowling alleys, pool halls, dance halls, skating rinks and other similar places of recreation except pistol and rifle ranges.
16.
Restaurant drive-in facilities for window service of prepared and packaged food where such foods are not consumed on the premises and drive-in restaurants or food stands catering to customers with facilities for parking on the premises for consumption of food in motor vehicles.
17.
Drive-through service facilities for businesses other than pharmacies and restaurants.
18.
Sale, lease and rental of new motor vehicles [limited to passenger automobiles, light trucks and motorcycles] with or without accessory sales and leasing of used vehicles, including outdoor display of vehicles, and including warranty repair work and other repair service conducted as an accessory use. Sales and leasing operations shall be conducted from a freestanding principal building on a zoning lot of at least one acre and not greater than three acres.
19.
Automobile laundry.
20.
Preschool/Elementary School.
21.
Pawn Shops or Resale Shops (as defined in Chapter 5.46) shall not be located within one thousand feet of any other Pawn or Resale Shop as measured in a direct line from the closest point on one lot line to the closest proximate point on the other lot line.
22.
Sale of new and/or used automobiles as an ancillary use to an existing auto repair facility.
23.
Adult-use cannabis dispensary pursuant to Section 17.28.080, provided that they are located on sites with frontage along the following major streets: Lake-Cook Road, IL Route 68 (Dundee Road) or IL Route 45 (Milwaukee Avenue).
D.
Conditions of Use. All uses permitted in this district (except residential and special uses) shall be retail establishments only and shall be subject to the following conditions:
1.
Dwelling units are not permitted below the second floor.
2.
There shall be no manufacture, processing or treatment of products other than those which are clearly incidental and essential to the retail business conducted on the same premises.
3.
Not more than five persons (exclusive of manager, clerks and drivers) shall be engaged in such manufacture, processing or treatment of products including catering, cleaning, laundering, plumbing, upholstering and other similar permitted uses.
4.
Such uses, operations or products shall not be objectionable due to odor, dust, smoke, noise, vibrations or other similar causes.
5.
All activities, as permitted or required, shall be conducted within an enclosed building, except as allowed in this chapter. The outside display and sale of liquefied petroleum gas, including propane containers, is permitted subject to the conditions and standards set forth in Section 17.44.020.D.5.
E.
Maximum Floor Area Ratio. The maximum floor area ratio of buildings and structures on a zoning lot shall be one-half.
F.
Yards.
1.
No building or structure shall be erected or maintained, within twenty-five feet of the right-of-way of any street; the twenty-five-foot strip shall be landscaped (sodded, planted, and shrubbed). At any point along the wall of the building closest to the right-of-way measured at right angles to the right-of-way, for every three feet that point is moved away from the twenty-five-foot setback, the twenty-five-foot landscaped area at that point may be decreased one foot in size. At no time shall there be less than a twelve-foot landscaped area adjacent to the entire length of the right-of-way, with the exception of the paving needed for ingress and egress. At no time shall a building be constructed or maintained at a distance from the right-of-way less than that equal to its height.
2.
A rear yard shall be provided for residential uses located above the first floor; such yard shall be no less than thirty feet in depth.
G.
Transitional Yards.
1.
Where a rear or side lot line coincides with a side or rear lot line in an adjacent residential district, a buffer strip of not less than twelve feet wide shall be provided. Such buffer strip shall be sodded, planted, shrubbed and maintained and there shall be provided, adjacent to the residential district boundary line, a solid wall, fence or hedge constructed and maintained to form a screen not less than six feet in height. Such screen shall be required prior to issuance of a certificate of occupancy. A temporary certificate of occupancy may be issued if the Village Forester determines the installation of such screen may be delayed due to seasonal conditions. If a solid wall or fence is utilized, it shall be placed immediately adjacent to the property line unless otherwise approved by the Village due to one or more of the following circumstances:
a.
The nature of the use would be detrimental to the required landscaping thereby requiring the landscaped area to be located outside the wall or fence.
b.
The impact of the close proximity of adjacent uses would be reduced if some or all of the landscaped area was located outside the wall or fence.
c.
The general appearance of the area would be enhanced by locating the wall or fence other than immediately adjacent to the property line.
2.
At no time shall a building be constructed or maintained at a distance from the residential district boundary less than that equal to its height.
a.
Transitional yards shall be unobstructed from the lowest level to the sky.
H.
Minimum Lot Sizes. For every dwelling unit there shall be provided a minimum of one thousand one hundred square feet of lot area, except that for every efficiency unit there shall be provided not less than eight hundred square feet of lot area.
I.
Height Regulations. No building shall exceed three stories or forty-five feet in height, whichever is less.
(Ord. 2005-23 § 1, 2004; Ord. 2004-100 § 16, 2004; Ord. 2004-80 §§ 3, 4, 2004)
(Ord. No. 2012-44, § 1, 9-10-2012; Ord. No. 2013-54, § 1, 8-19-2013; Ord. No. 2014-39, § 1, 5-19-2014; Ord. No. 2014-77, §§ 1, 2, 12-1-2014; Ord. No. 2015-46, § 1, 8-3-2015; Ord. No. 2016-008, § 3, 2-22-2016; Ord. No. 2019-054, § 4, 10-21-2019)
A.
The regulations set forth in this section or set forth elsewhere in this Title when referred to in this section are the district regulations of the B-3 planned business center district.
B.
Use Regulations. A building or premises shall be used only for a planned business center, but only on tracts of land abutting and contiguous to a major street and only upon application to the Corporate Authorities in the manner outlined in Section 17.28.050.
C.
The business uses proposed shall include only selected compatible uses listed as permitted or special uses in the B-2 general retail business district; provided, however, that the Corporate Authorities may after recommendation of the Planning and Zoning Commission as a condition of the approval of the planned business center require that certain retail or other uses shall be omitted, or require the addition of other compatible uses not listed as permitted in the B-2 district. Personal wireless communications facilities and cellular telephone facilities, including antennas, for use with radio and/or other transmitting and receiving equipment, on a tower or pole, on property owned by a unit of local government or a public utility. Such tower or pole shall be set back from nonresidential property lines a distance not less than the height of the tower or pole. Such tower or pole shall be set back from a residential structure and any abutting residential zoning boundary a distance not less than twice the height of the tower or pole.
D.
A planned business center shall meet the following minimum requirements and standards:
1.
A planned business center shall be laid out and developed as a unit in accordance with an integrated overall design. The location and arrangement of buildings, parking areas, walks, lighting and appurtenant facilities shall be adjusted to the surrounding land uses, and any part of a planned business center not used for buildings other structures, parking and loading areas or accessways shall be landscaped with grass, trees, shrubs and pedestrian walks.
2.
No merchandise, materials or equipment shall be stored in any open areas, but may be kept and displayed in an open area for immediate sale or temporary display. The outside display and sale of liquefied petroleum gas, including propane containers, is permitted subject to the conditions and standards set forth in Section 17.44.020.D.5.
3.
No building or structure shall be erected or maintained within fifty feet of any residential property line. For any structure in excess of forty-five feet in height above grade, such setback shall be increased two feet in width for every one foot in building height above forty-five feet.
4.
No building or structure shall be erected or maintained within twenty-five feet of the right-of-way of any street; the twenty-five foot strip shall be landscaped. At any point along the wall of the building closest to the right-of-way measured at right angles to the right-of-way for every three feet that point is moved away from the twenty-five foot setback, the twenty-five foot landscaped area at that point may be decreased one foot in size. At no time shall there be less than a twelve foot landscaped area adjacent to the entire length of the right-of-way with the exception of the paving needed for ingress and egress. At no time shall a building be constructed at a distance from the right-of-way less than that equal to its height.
5.
Transitional Yards.
a.
Where a rear or side lot line coincides with a side or rear lot line in an adjacent residential district, a buffer strip of not less than twelve feet wide shall be provided. Such buffer strip shall be sodded, planted, shrubbed and maintained and there shall be provided, adjacent to the residential district boundary line, a solid wall, fence or hedge constructed and maintained to form a screen not less than six feet in height. Such screen shall be required prior to issuance of a certificate of occupancy. A temporary certificate of occupancy may be issued if the Village Forester determines the installation of such screen may be delayed due to seasonal conditions. If a solid wall or fence is utilized, it shall be placed immediately adjacent to the property line unless otherwise approved by the Village due to one or more of the following circumstances:
i.
The nature of the use would be detrimental to the required landscaping, thereby requiring the landscaped area to be located outside the wall or fence.
ii.
The impact of the close proximity of adjacent uses would be reduced if some or all of the landscaped area was located outside the wall or fence.
iii.
The general appearance of the area would be enhanced by locating the wall or fence other than immediately adjacent to the property line. At no time shall a building be constructed or maintained at a distance from the residential district boundary less than that equal to its height.
b.
Transitional yards shall be unobstructed from the lowest level to the sky.
6.
All primary light sources illuminating the buildings and planned business center area shall be erected and maintained in accordance with acceptable engineering practices and shall be placed, designed and used that neither the direct or reflected light therefrom will adversely affect surrounding property or create a traffic hazard.
(Ord. 2004-100 § 17, 2004)
(Ord. No. 2014-39, § 1, 5-19-2014; Ord. No. 2014-43, § 31, 6-16-2014)
A.
The regulations set forth in this section, or set forth elsewhere in this Title when referred to in this section, are the district regulations in the B-4 business services and wholesale district.
B.
Permitted Uses. No building or land shall be used and no building shall be hereafter erected, structurally altered or enlarged unless otherwise provided for in this Title, except for the following uses:
Any use permitted in the B-2 business district.
Agricultural implement sales and service.
Air conditioning and heating sales and service.
Automobile repair and service shop, including automobile repair and rebuilding, auto laundries, and painting of automobiles.
Bottling, nonalcoholic beverages and distribution.
Building materials sales.
Carpenter or cabinet shops (excluding furniture manufacture).
Cartage and express facilities.
Clothing, custom manufacturing and alterations for retail trade only.
Contractor or construction shops, such as:
Dry-cleaning establishments.
Exterminating shop.
Feed and seed store, wholesale.
Garage, public, for the storage of private passenger automobiles and commercial vehicles under one and one half tons capacity.
Glass cutting and glazing.
Greenhouse, wholesale growers.
House trailer sales (mobile homes).
Household appliance repair shops.
Laboratories, medical, dental, research, experimental, and testing.
Laundries, limited to six thousand two hundred and fifty square feet of gross floor area per establishment.
Linen, towel, diaper and other similar supply services, limited to six thousand two hundred and fifty square feet of gross floor area per establishment.
Machinery sales and service.
Monument sales.
Motor vehicles sales, including used car lots.
Motorcycle sales, including servicing and repair.
Personal wireless communications facilities and cellular telephone facilities, including antennas, for use with radio and/or other transmitting and receiving equipment, on public property, quasi-public property and property owned by a public utility when located within a building or on the exterior of a building, provided that any structure or equipment mounted on a building shall be not more than fifteen feet higher than the roof of the building or extend more than fifteen feet from the sides of a building. Said building mounted facilities are subject to the provisions of the Village Appearance Plan.
Processing or assembly, limited to the following, provided that space occupied in a building does not exceed six thousand square feet of total floor and basement space, not including stairwells or elevator shafts, and provided such processing or assembly can be conducted without noise, vibration, odor, dust or any other condition which might be disturbing to occupants of adjacent buildings. When manufacturing operations of the same or similar products demand space exceeding six thousand square feet, they shall be located in the I industrial district.
Advertising displays.
Awnings, venetian blinds and window shades.
Brushes and brooms.
Bakeries, wholesale.
Cosmetics, drugs and perfumes.
Electrical equipment appliances.
Food processing, packaging and distribution.
Ice cream.
Jewelry.
Medical and dental supplies.
Optical goods and equipment.
Pattern making scientific and precision instruments.
Products from finished materials, such as bone, cloth, cork, feathers, felt, fiber, fur, glass, hair, horn, leather, paper, plastic, precious or semi-precious stones, rubber, shell or yarn.
Silver plating and repair shop.
Tool, die and pattern making.
Used automobile sales on an open lot or within a building.
Wholesale offices and store rooms with storage limited to six thousand two hundred fifty square feet of floor area per establishment.
Accessory uses and accessory buildings, when located on the same premises.
C.
Special Uses.
1.
Auditorium, stadium, arena, armory, , and other similar places for public events.
2.
Bus terminal, railroad passenger station freight terminal or any other public transportation terminal facilities.
3.
Churches and places of public worship on zoning lots having a minimum area of forty thousand square feet, having not more than twenty-five percent of the zoning lot occupied by buildings, and having sufficient land area to provide for both building space and off-street parking requirements.
4.
Convents, monasteries, rectories or parish houses.
5.
Golf course (including miniature golf courses), public or private.
6.
Public or privately owned recreation building or community center.
7.
Recreation places, including bowling alley, dance hall, gymnasium, skating rink, archery range, golf practice range, miniature golf course or other places of amusement or entertainment when operated for pecuniary profit except pistol and rifle ranges.
8.
Business planned unit development.
9.
Police or fire station.
10.
Public buildings, including art gallery, library, museum or similar structures.
11.
Public park, playground or club.
12.
Public or privately owned and operated recreation area, fairgrounds, permanent carnivals, "kiddie parks," or other similar amusement center.
13.
Public utility facilities.
14.
Personal wireless communications facilities and cellular telephone facilities, including antennas, for use with radio and/or other transmitting and receiving equipment, on a tower or pole, on property owned by a unit of local government or a public utility. Said tower or pole shall be set back from non-residential property lines a distance not less than the height of the tower or pole. Said tower or pole shall be setback from a residential structure and any abutting residential zoning boundary a distance not less than twice the height of the tower or pole.
15.
Wind energy conversion system.
16.
Drive-through facilities for retail pharmacies for the drop-off of prescription orders and pick-up of prescription medications and over-the-counter medical items.
17.
Restaurant drive-through facilities for window service or prepared and packaged food where said foods are not consumed on the premises and drive-in restaurants or food stands catering to customers with facilities for parking on the premises for consumption of food in motor vehicles.
18.
Health clubs — over 10,000 square feet in total floor space.
D.
Conditions of Use. The above uses are subject to the following conditions:
1.
Dwelling units, other than those located in a transient hotel or motel, are not permitted below the second floor;
2.
Not more than six thousand two hundred fifty square feet in the aggregate of gross floor area per establishment shall be devoted to the production or processing of goods or products;
3.
All activities involving production, processing, cleaning, servicing, testing or repair of materials, goods or products shall be conducted without danger from fire, explosion, offensive noise, vibration, smoke, dust, odors, heat, glare or other objectionable conditions beyond the boundaries of the premises upon which the use is located;
4.
All production, processing, cleaning, servicing, testing, or repair of materials, goods or products shall take place within completely enclosed buildings, except for storage of building materials and except for the parking of motor vehicles in the open. The outside display and sale of liquefied petroleum gas, including propane containers, is permitted subject to the conditions and standards set forth in Section 17.44.020.D.5.
E.
Maximum Floor Area Ratio. The maximum floor area ratio of buildings and structures on a zoning lot shall be .80.
F.
Yards.
1.
No building or structure shall be erected or maintained within twenty-five feet of the right-of-way of any street; the twenty-five foot strip shall be landscaped (sodded, planted and shrubbed). At any point along the wall of the building closest to the right-of-way measured at right angles to the right-of-way for every three feet that point is moved away from the twenty-five foot setback, the twenty-five foot landscaped area at that point may be decreased one foot in size. At no time shall there be less than a twelve foot landscaped area adjacent to the entire length of the right-of-way, with the exception of the paving needed for ingress and egress. At no time shall a building be constructed or maintained at a distance from the right-of-way less than that equal to its height.
2.
A rear yard shall be provided for residential uses located above the first floor; such yard shall be no less than thirty feet in depth.
G.
Transitional Yards.
1.
Where a rear or side lot line coincides with a side or rear lot line in an adjacent residential district, a buffer strip of not less than twelve feet wide shall be provided. Such buffer strip shall be sodded, planted, shrubbed and maintained and there shall be provided adjacent to the residential district boundary line a solid wall, fence or hedge constructed and maintained to form a screen not less than six feet in height. Such screen shall be required prior to issuance of a certificate of occupancy. A temporary certificate of occupancy may be issued if the Village Forester determines the installation of said screen may be delayed due to seasonal conditions. If a solid wall or fence is utilized, it shall be placed immediately adjacent to the property line unless otherwise approved by the Village due to one or more of the following circumstances:
a.
The nature of the use would be detrimental to the required landscaping thereby requiring the landscaped area to be located outside the wall or fence.
b.
The impact of the close proximity of adjacent uses would be reduced if some or all of the landscaped area was located outside the wall or fence.
c.
The general appearance of the area would be enhanced by locating the wall or fence other than immediately adjacent to the property line.
2.
At no time shall a building be constructed or maintained at a distance from the residential district boundary less than that equal to its height.
3.
Transitional yards shall be unobstructed from the lowest level to the sky.
H.
Height Regulations. No building shall exceed three stories or forty-five feet in height, whichever is less.
(Ord. 2004-80 § 5, 2004; Ord. 2002-27 §§ 5, 6, 2002)
(Ord. No. 2014-39, § 1, 5-19-2014; Ord. No. 2016-008, § 3, 2-22-2016)
A.
The regulations set forth in this section are the district regulations of the B-5 town center planned district.
B.
Purpose. The B-5 town center planned district is intended to provide for the development of a pedestrian oriented central district. The district shall be defined as the area bounded by Lake-Cook Road on the south, IL Route 83 on the east, and Buffalo Grove Road on the west, but not including Lot 1 of the Town Center Subdivision and that part of the southwest quarter of the northwest quarter of Section 33, Township 43 North, Range 11 East of the Third Principal Meridian, described as follows:
The East line of Buffalo Grove Road is considered as "DUE NORTH" for the following courses. Beginning at the intersection of the said east line of Buffalo Grove Road, being forty feet east of the centerline thereof and the southwesterly curved line of IL Route 83, being forty feet southwesterly of the centerline thereof; thence southeasterly along said southwesterly curved line of IL Route 83 convex to the southwest and having a radius of 2,904.93 feet, a distance of 60.98 feet to a point of reverse curve equals the point of beginning of this tract of land; (the radius of the reverse curve being 25 feet and is tangent to the aforesaid east line of Buffalo Grove Road): thence continuing southeasterly along the southwesterly curved line of said IL Route 83 of said radius of 2,904.93 feet, a distance of 129.85 feet; thence south 47° 37′ East, tangent to said curve, 174.17 feet to a point, thence South 71° 18′ 40″ West, 280.0 feet to a point in the aforesaid East line of Buffalo Grove Road; thence due north on said line, 279.07 feet to the point of curve of the aforesaid curve of radius of 25 feet; thence northeasterly on said curve, convex to the north, a distance of 58.88 feet to the point of beginning; in Lake County, Illinois, containing one acre.
The junction of IL Route 83 and Buffalo Grove Road defines its location on the north.
C.
Establishment of Land Uses Within the Town Center. In order to classify, regulate and restrict the location of uses and the location of buildings designated for specific uses, to regulate and limit the height and bulk of buildings hereafter erected, to regulate and limit by the intensity of the use of the lot area, and to regulate and to establish public roadways, walkways and other amenities such as yards, courts and other open spaces within the surroundings of such buildings, the Town Center is hereby divided into the following subdistricts listed hereinafter and indicated on the Town Center Land Use Map. (See Figure 17.44-1)
1.
Permitted Uses.
a.
Residential.
Botanical gardens.
Bus shelters.
Multiple family dwellings.
Nursing homes.
Parks and playgrounds.
b.
Commercial/Recreational.
Antique shops.
Art and school supply stores.
Art gallery.
Auditoriums.
Bakeries and confectionaries, retail.
Banks, not drive-in.
Barber and beauty schools.
Barber shops.
Beauty parlors.
Bicycle and accessories sales and service store.
Book stores.
Botanical gardens.
Bowling alleys.
Bus shelters.
Camera and photographic supply stores.
Child care centers.
China, glassware and metalware stores.
Clothing stores.
Coin and stamp stores.
Community and recreation centers.
Delicatessens.
Department stores.
Dinner theaters.
Dry goods stores.
Electrical appliance shops.
Floor covering stores.
Florist and plant shops, retail.
Furniture stores.
Furriers and fur apparel stores.
Gift, novelty and souvenir stores.
Hardware stores.
Health clubs - under 10,000 square feet of total floor space.
Hobby shops.
Home decorating.
Hotel and motel.
Jewelry stores.
Kitchen and bath cabinet showrooms.
Leather shops.
Luggage and suitcase stores.
Medical appliances and supply stores.
Movie and drama theaters.
Parks and playgrounds.
Museums.
Musical instrument stores.
Newspaper and magazine stands.
Nonacademic schools, classes and instruction
Office supply stores.
Optical goods stores.
Outdoor restaurants.
Outdoor theaters, festival drama, excluding movies.
Paint and wall covering stores.
Personal wireless communications facilities and cellular telephone facilities, including antennas, for use with radio and/or other transmitting and receiving equipment, on public property, quasi-public property and property owned by a public utility when located within a building or on the exterior of a building, provided that any structure or equipment mounted on a building shall be not more than fifteen feet higher than the roof of the building or extend more than fifteen feet from the sides of a building. The building-mounted facilities are subject to the provisions of the Village Appearance Plan.
Pet shops.
Pharmacies.
Photographic studies.
Record shops.
Rectory.
Restaurants, with/without dancing and entertainment.
Roller and ice skating rinks.
Savings and loan institutions, not drive-in.
Shoe repair shops.
Shoe stores.
Specialty shops.
Sporting goods stores.
Stationery stores.
Tailoring and dressmaking stores.
Tennis, racquetball, handball, swimming and other private recreational clubs.
Tobacco shops.
Tool and appliance retail centers.
Toy stores.
Travel bureaus.
c.
Office.
Banks, savings and loans, financial institutions (exclusive of drive-in facilities).
Botanical gardens.
Bus shelters.
Business offices.
Medical offices, clinics and laboratories.
Professional offices.
Parks and playgrounds.
d.
Public.
Botanical gardens.
Bus shelters.
Churches, synagogues and temples.
Community and recreation centers.
Libraries.
Parks and playgrounds.
Postal facilities.
Public offices.
e.
Special Uses. The following uses are allowed subject to the procedure set forth in Chapter 17.28.
1.
Mixed occupancies: residential/commercial; residential/office; residential/commercial/office; commercial/office.
2.
Auxiliary drive-in banking, savings and loan and financial establishments in commercial and office sub-districts.
3.
Public utility facilities.
4.
Wind energy conversion systems.
5.
Bakery operations including production, wholesale and storage uses and drive-through service window facilities in the Commercial/Recreational sub-district.
6.
Funeral homes in the Commercial/Recreational sub-district.
7.
Liquor stores in the commercial/recreational sub-district.
8.
Drive-through facilities for retail uses, including restaurant drive-through facilities for window service of prepared and packaged foods, in the commercial/recreational sub-district.
9.
Supermarkets and food stores in the commercial/recreational sub-district.
10.
Drive-through facilities for retail pharmacies for the drop-off of prescription orders and pick-up of prescription medications and over-the-counter medical items in commercial/recreational sub-district.
11.
Family entertainment center, in the commercial/recreational sub-district, subject to the following conditions:
Security management: The facility, including adjacent outdoor areas, shall be managed to maintain the safety of customers and to avoid the creation of nuisances affecting adjacent properties and businesses. The Village shall be notified prior to the staging of dance parties and similar activities and special events, and specific provisions to properly manage said events and activities shall be included in the security plan.
The Local Liquor Control Commissioner shall be provided with the protocol(s) to be implemented regarding the sale and consumption of alcoholic beverages within area(s) identified or set aside for dance parties and similar activities and special events. Protocol(s) shall be subject to the Local Liquor Control Commissioner's approval.
A security plan (including, but not by way of limitation, adult security personnel), subject to approval by the Village is required prior to issuance of a certificate of occupancy. The Village may, in its discretion, from time to time review the security plan and require appropriate changes. Failure to make required changes or failure to implement such changes to the approved security plan may result in the revocation of the business license.
12.
Churches, synagogues and other places of public worship in the commercial/recreational sub-district provided that the special use is limited to the second floor area of the building.
13.
Health clubs - over 10,000 square feet of total floor space.
f.
Similar and Compatible Uses. Other retail or service uses not specifically permitted herein may be allowed if said uses are determined by the Village Zoning Administrator to be similar to and compatible with the established uses in the B-5 District.
D.
Bulk Requirements.
1.
Any development in the district shall comply with the following minimum requirements and standards in addition to all applicable Village ordinances:
a.
The development plan shall be laid out and developed as a unit in accordance with an integrated overall design. The location and arrangement of buildings, parking areas, walks, lighting and appurtenant facilities shall be adjusted to the surrounding land uses and any part not used for buildings, other structures, parking and loading areas, or access-ways shall be landscaped with grass, trees, shrubs, and pedestrian walks to create a character in total harmony with the Town Center concept.
b.
District requirements:
c.
Mixed or separate uses may be provided within a specific district as a special use within that district provided that the separate requirements of each use are adhered to in relation to the use served.
d.
Any lot zoned within the Village whether or not platted in a subdivision prior to the adoption of this Title, which does not meet the minimum lot area requirement as stipulated in this Title will not be subject to such requirement.
e.
No merchandise, materials, or equipment shall be stored in any open area. The outside display and sale of liquefied petroleum gas, including propane containers, is permitted subject to the conditions and standards set forth in Section 17.44.020.D.5.
f.
All off-street parking and loading areas shall be properly illuminated in accordance with sound planning and engineering practices. The type of luminaries, shielding, pole height and design, uniformity ratio and the entire lighting scheme shall be in accordance with the Criteria of Appearance contained in Section 17.44.060.E.4.
g.
No principal building in a district other than residential shall exceed seventy-five feet in height; no principal building in a residential district shall exceed one hundred feet in height; no accessory building in any district shall exceed thirty feet in height.
h.
The specifications for the width and surfacing of streets and highways, alleys, ways for public utilities, for curbs, gutters, driveways, sidewalks, street lights, public parks and playgrounds, school grounds, stormwater drainage, stormwater detention and/or retention facilities, water supply and distribution, sanitary sewers and sewage collection and treatment established by ordinance of the Village shall govern.
i.
All primary light sources illuminating the buildings and the development shall be erected and maintained in accordance with acceptable engineering practices and shall be so placed, designed and used that neither the direct or reflected light therefrom will adversely affect surrounding property or create a traffic hazard. All primary lighting shall be provided in accordance with the Criteria of Appearance contained in Section 17.44.060.E.4.
j.
No building or structure shall be erected or maintained within twenty-five feet of any residential boundary line or within thirty-five feet of the right-of-way of any arterial highway containing or anticipated to contain four or more paved traffic lanes and no roadway or parking area shall be erected or maintained within twenty feet of the right-of-way of any arterial highway, or two paved areas. The buffer area shall be sodded, planted and shrubbed.
k.
A buffer strip not less than twenty-five feet wide shall be provided along any residential boundary line abutting or adjoining any boundary line of any commercial/recreational or office sub-district. Such buffer strip shall be sodded, planted and shrubbed in such a manner as to form a green area. This green area shall be bermed as defined in Section 17.44.060.E.3.
1.
Public utility easements. Proposed location for easements necessary to the development of the property to be served as recommended by the respective public utility companies shall be indicated on the plat.
E.
Criteria of Appearance.
1.
Goals and objectives.
a.
Excellence in design and planning, which may be achieved through appropriate innovation and imaginative concepts, will be encouraged. To accomplish this, the Criteria of Appearance has been developed for guidance to designers and planners of developments within the Town Center. The intent of this criteria is to produce a more logical and attractive use of one property that will be beneficial rather than detrimental to the surrounding area and the community.
b.
The purpose of these criteria is to establish a check list of those items which affect the physical and visual aspect of the Town Center environment. Pertinent to appearance is the design of the site, building and structures, planting, signs, street furniture and miscellaneous other objects which are observed by the public.
c.
These criteria are not intended to restrict imagination, innovation or variety, but rather to assist in focusing on design principles which can result in creative solutions that will develop and promote a visual appearance conducive with the overall design concept of the Town Center.
2.
Relationship of buildings to site and to adjoining areas.
a.
The site shall be planned to accomplish a desirable transition with the streetscape, and to provide for functional and harmonious planting, integral pedestrian movement, unobtrusive parking areas and continuity of a total design concept.
b.
Site planning in which setbacks and yards are in excess of zoning restrictions is encouraged.
c.
Parking areas shall be treated with decorative elements, building wall extensions (screen walls), plantings, berms or other innovative means so as to largely screen parking areas from view from public ways.
d.
The height and scale of each building shall be compatible with its site and adjoining buildings. Spacing between buildings and heights of buildings shall be of good transitional nature.
e.
Newly installed utility services, and service revisions necessitated by exterior alterations, shall be constructed underground.
f.
Attractive smooth landscape transition to adjoining properties shall be provided.
3.
Landscape and site treatment. Landscape elements included in the following criteria consist of all forms of planting and vegetation, ground forms, rock groupings, water patterns, and all visible construction except buildings and utilitarian structures.
a.
Where natural or existing topographic patterns contribute to the beauty and utility of a development, they shall be preserved, enhanced and developed. Modification to topography will only be permitted where it contributes to appearance or is necessitated by engineering considerations.
b.
Grades and slopes of walks, parking spaces, terraces and other paved areas shall provide an inviting and comfortable physical environment for pedestrians as well as for proper drainage.
c.
Landscape treatment shall be provided to enhance architectural features, strengthen vistas and important axis. Spectacular effects shall be reserved for special locations only.
d.
Unity of design shall be achieved by repetition of certain plant varieties and other landscape materials, and by correlation with adjacent developments.
e.
Plant material shall be selected for interest in its structure, texture, mass, scale, height and seasonal color. Plants should be indigenous to the area, hearty, harmonious to the design, of good appearance and shall be approved by the Village Forester and/or Landscape Architect.
f.
In locations where plants will be susceptible to injury by pedestrian or motor traffic, they shall be protected by appropriate curbs, tree guards or other devices.
g.
Parking areas and traffic ways shall be enhanced with landscaped spaces containing streets or tree groupings. Shrubs shall be used so as not to obscure vision at intersections. Parking areas in residential and office districts shall be screened from vehicular traffic ways and pedestrian ways by the introduction of earth berms. These berms shall be a minimum of three feet high with a maximum slope of three to one. Parking areas in commercial districts shall be screened from residential and office districts as indicated above.
(i)
All parking areas shall have internal landscaping to channelize and define logical areas for pedestrians and vehicular circulation and to provide areas for accumulation of snow.
(ii)
Interior landscaping shall account for a minimum of seven percent of the parking area. All interior landscaping shall be protected from vehicular encroachment by curbing or similar means and should be raised above the grade of the parking spaces.
(iii)
Space shall be provided for one tree for every forty feet of frontage or fraction thereof. Spacing of trees, however, shall not exceed sixty-five feet. Trees shall have a minimum height of six feet and a minimum diameter of two and one-half inches measured one foot above grade level.
h.
In areas where general planting will not prosper, other materials such as fences, walls and pavings or wood, brick, stone, gravel and cobbles shall be used. Carefully selected plants shall be combined with such materials where possible.
i.
Planting in rights-of-way shall be integrated into the overall landscape treatment. All right-of-way plantings shall be approved by the agency having jurisdiction over said right-of-way.
4.
Lighting.
a.
Exterior lighting, when used, shall enhance the building design and the adjoining landscape. Lighting standards and fixtures shall be of a design and size compatible with the building and adjacent areas. Lighting shall be restrained in design, and excessive brightness and brilliant colors avoided. Lighting levels shall be reduced to 0.2 foot candles between the hours of 11:00 p.m. and 7:00 a.m. where adjacent to residential districts.
b.
Lighting of off-street parking areas is required. Lighting used to illuminate vehicular traffic ways shall be directed away from adjoining and adjacent property, streets and other public rights-of-way. All lighting units shall be of a full cut-off type, with a maximum pole height of thirty feet.
c.
The illumination level for all off-street parking areas shall be a minimum average of one-foot-candle maintained to a maximum average of three-foot-candles maintained. A uniformity ratio of four to one, or better, between the average foot candle level and the minimum foot candle level is also required.
d.
Pedestrian lighting shall be in accordance with the lighting levels established in Table II of the Illuminating Engineering Society's Standards for Roadway Lighting (hereby adopted by reference). Maximum pole height shall be twelve feet.
Luminaire, light source and pole design shall create a continuity and relationship to surroundings consistent with the intent of the Town Center. Poles and luminaires selected shall be vandal resistant.
e.
Landscape or ground lighting shall be designed to harmonize with the overall landscape and lighting design. Fixtures used shall be vandal resistant and securely fastened to wiring system.
5.
Building design.
a.
Architectural style is restricted to structures of harmonious design. Evaluation of appearance of a project shall be based on quality of its design, creativity, innovation, continuity and relationship to surroundings consistent with the intent of the Town Center.
b.
Harmony in material, texture, lines, colors and masses is required. Monotony shall be avoided. Variation of detail, form and siting shall be used to provide visual interest.
c.
Materials shall be selected for suitability to the type of buildings and the design in which they are used.
d.
The design of all buildings and structures shall address itself to the consistent and thoughtful design development of all surfaces of the structure and volumetric relationships, to include, but not be limited to: general shape, form, materials, colors and appearance.
e.
Mechanical equipment, antennas, towers and other utility hardware on the roof of buildings shall be screened from public view with materials harmonious with the building.
f.
All ground located mechanical equipment, trash receptacles and storage areas, service yards, parking areas, loading docks and ramps, electrical cage enclosures, electrical equipment, telephone equipment, incinerators and similar equipment for the disposal of materials, storage tanks and other areas which tend to be unsightly shall be screened from view from access streets and adjacent properties and the subject property by means of a fence, berm, wall or dense, opaque landscape material.
g.
Exterior building lighting and signage shall be part of the architectural concept. Fixtures, standards and all exposed accessories shall be harmonious with building design.
h.
Inappropriate, incompatible, bizarre and exotic designs shall be avoided.
i.
The design of all porches, balconies, patios and similar outside spaces shall be integral to the building design and not appear as appendages.
6.
Miscellaneous structures and street furniture.
a.
Miscellaneous structures include any structures, other than buildings, visible from any public way or ways. Street furniture includes all objects not commonly referred to as structures and located in streets and public ways and outside buildings including but not limited to benches, bollards, tree grates, kiosks, pavilions and directories.
b.
Miscellaneous structures and street furniture located on private property shall be designed to be part of the architectural concept of design and landscape. Materials, scale, mass and colors shall be compatible to, and enhance the continuity and relationship to, surroundings consistent with the intent of the Town Center concept.
c.
Miscellaneous structures and street furniture located in public ways and other public property shall be harmonious with design of adjacent buildings and other structures and Village landscape.
d.
Lighting in connection with miscellaneous structures and street furniture shall meet the criteria applicable to site, landscape, buildings and signs.
7.
Maintenance—Planning and design factors.
a.
Continued good appearance depends upon the extent and quality of maintenance. The choice of materials and their use, together with the types of finishes and other protective measures, must be conducive to easy maintenance and upkeep.
b.
Materials and finishes shall be selected for their durability and wear as well as for their beauty. Proper measures and devices shall be incorporated for protection against the elements, neglect, damage and abuse.
c.
Provision for washing and cleaning of buildings and structures, and control of dirt and refuse, shall be included in the design. Such configurations that tend to catch and accumulate debris, leaves, trash, dirt and rubbish shall be avoided.
d.
Through proper engineering and site grading, a parcel of land can be designed to prevent standing water. In order to insure against future accumulations of stagnant water, care should be exercised in the maintenance of all drainage elements including pavement, structures and earth berms.
e.
Through the careful selection of plant material for their heartiness and appropriateness as well as their beauty, planting areas can be maintained free of species of weeds or plant growth which are noxious or detrimental to the public health. This shall include not only planting areas within the property, but also those planting areas in the rights-of-way.
f.
In order to maintain the design character of the Town Center during construction and until the entire area is developed, proper measures and devices must be incorporated into each developer's program to control, screen and dispose of all construction refuse associated with the construction process.
g.
All landscaped areas shall be provided with an irrigation system or a readily available water supply with at least one outlet located within one hundred fifty feet of the plant material.
h.
All plant material that is dead or damaged shall be replaced immediately. Plant material shall be replaced no later than thirty days after notification by the Village of a violation of this section when planting conditions permit, and in no event later than ninety days.
F.
Development Procedures Within the Town Center.
1.
Pre-application conference. Prior to filing a formal application the applicant comply with the following:
a.
Applicant will contact and meet with the Village Manager, and appropriate planning and engineering staff, to identify land use objectives.
b.
The applicant will meet with the Corporate Authorities.
2.
The purpose of a pre-application conference is to provide advice and assistance to the applicant before presentation of the preliminary plan, so that the applicant may determine:
a.
Whether the proposed project appears in general to be in compliance with the provisions of this Title.
b.
Whether the proposed project will be in conformity with the land use policies and objectives of the Village, as expressed in the Town Center Land Use Map. (See Figure 17.44-1)
3.
Application.
a.
Following the pre-application conferences, application for approval of a planned unit development shall be filed with the Village Clerk in accordance with the provisions of this Title and prior to scheduling before the Corporate Authorities and Planning and Zoning Commission.
b.
Submissions. An application must be accompanied by twenty copies of a preliminary plan and all related materials and an application fee.
4.
Preliminary plan.
a.
A preliminary plan is required of any applicant for approval of a planned unit development. The preliminary plan shall include, as a minimum, the following:
(i)
An accurate topographic and boundary line map of the project area and a location map showing its relationship to surrounding properties within two hundred fifty feet in all directions of said property.
(ii)
An accurate legal description of the entire area within the planned unit development.
(iii)
The pattern of public and private roads, driveways and parking facilities and intended design standards.
(iv)
The use, type, size, arrangement and location of lots or of proposed buildings or groups of buildings.
(v)
General description of proposed landscaping.
(vi)
The location, design, height, type and level of illumination for all building and site lighting.
(vii)
The location of sewer and water facilities.
(viii)
Architectural drawings and sketches illustrating the design and character of proposed structures. This is to include the presentation of all materials and colors.
(ix)
The location and size of recreational and open space areas and areas reserved for public uses such as schools, parks and open space to be owned and maintained by a property owners' association.
(x)
Existing topography and storm drainage pattern and proposed storm drainage system showing basic topographic changes and proposed method of compliance with the Village's stormwater detention ordinances.
(xi)
Statistical data for the project shall include:
Gross site area,
Net site area dedicated streets and rights-of-way,
Green net site areas and percentages,
Ground coverage areas and percentages,
Total building area,
Floor area ratio,
Parking ratios (with stall size and aisle indications and locations),
Loading berth requirements,
Building heights,
Water retention/detention plans and specifications,
Other similar data pertinent to a comprehensive evaluation of the proposed development.
(xii)
A copy of the organizational structure related to property owners' association deed restrictions and provisions of services. The maintenance of common open space area and of provisions relating to future use of private property (additions, expansion, changes in use) shall be fully set forth in such documents.
(xiii)
A statement of the applicant's plans with regard to the future selling or leasing of all or portions of the planned unit development, such as land areas and building sites.
(xiv)
A development schedule indicating the approximate date when construction of the planned unit development or stages of the planned unit development can be expected to begin and be completed.
(xv)
A traffic survey setting forth and analyzing the effects of the proposed planned unit development. Such survey shall not be limited to the effect on adjacent streets but shall extend to all of the surrounding areas affected and shall indicate the anticipated points of origin, the direction and volume of traffic flow to and from the planned unit development.
(xvi)
Statement of the manner, if any, in which the planned unit development varies from the regulations of the Zoning Ordinance and an explanation of the reasons for such variations.
(xvii)
A tax impact report utilizing a Village approved formula.
(xviii)
A market analysis, feasibility report and statement of proposed financing.
(xix)
Site and surrounding environs photographs.
b.
Upon petition from the applicant, the Planning and Zoning Commission may waive submission of any of the materials set forth above as required to be included within the preliminary plan except for the development schedule (xiv.) and the statement on variations (xvi.)
5.
Planning and Zoning Commission Review (hereinafter called Commission).
a.
Workshop Session.
(i)
The Commission shall within thirty days of referral by the Corporate Authorities of a land use plan, schedule a workshop session for Commission and Village departmental review based on a full and complete application.
(ii)
Within thirty days of the completion of the last workshop session, the Commission shall schedule a public hearing subject to the submission of all materials pursuant to Section 16.20.030.
b.
Public Hearing. A public hearing shall be held as set forth in Chapter 17.64.
c.
Recommendation of the Planning and Zoning Commission.
(i)
Timing. Within thirty days after the close of the hearing, the Commission shall forward to the Corporate Authorities a copy of their written findings along with a recommendation.
(ii)
Conditions. The Commission may include in the recommendation such stipulations or conditions as deemed necessary for the protection of the public interest.
(iii)
Required Findings. A planned unit development shall not be recommended for approval unless the Commission shall find the following:
Effect on community—That the proposed planned unit development will not be significantly or materially detrimental to or endanger the public health, safety or general welfare of the community. This shall include consideration of the impact of the development upon physical development, tax base, and economic well-being of the Village; and
Effect on neighborhood—That the proposed planned unit development will not be injurious to the use and enjoyment of other property in the immediate vicinity for the purposes already permitted nor will it diminish or impair property values within the neighborhood; and
Effect on development of surrounding property—That the proposed planned unit development will not impede the normal and orderly development and improvement of surrounding property; and
Adequacy of utilities and facilities—That the applicant has demonstrated that adequate sewer and water, access roads, drainage and other necessary facilities are present or will be provided; and
Adequacy of ingress and egress—That the applicant has demonstrated that adequate means of ingress and egress designed to handle the traffic contemplated are present or will be provided; and
Conformity to regulations—That the proposed planned unit development meets all the regulations of this Title.
G.
Corporate Authorities Action.
1.
Public Hearing. A public hearing will be scheduled if necessary.
2.
Corporate Authorities Decision.
a.
The Corporate Authorities, after receipt of the Preliminary Plan and the recommendation of the Commission, shall approve, with such modifications as may be consented to by the applicant, or disapprove such preliminary plan.
b.
An ordinance approving and establishing a planned unit development shall specify the zoning regulations and restrictions that will, pursuant to the development plan, apply to the planned unit development. Such ordinance shall also specify the conditions and restrictions that have been imposed by the Corporate Authorities on the planned unit development and the extent to which the otherwise applicable district regulations have been varied or modified. When the Planning and Zoning Commission has designated divisible geographic sections of the development that may be developed as a unit, the ordinance may authorize the Planning and Zoning Commission to modify the schedules of development.
3.
Effect of Approval. Approval of a preliminary plan shall not constitute final approval. No building permit shall be issued for any structure until a development plan has been filed and approved.
4.
Effect of Denial. No application for approval of a planned unit development which is denied by the Corporate Authorities for any reason shall be resubmitted in substantially the same form and/or content.
H.
Development Plan.
1.
Time Limit. A development plan shall be submitted to the Commission by the applicant not later than one year (or such additional time as may be authorized by motion of the Corporate Authorities), after approval of the preliminary plan.
2.
Contents. The development plan shall contain in final form the information required in Section 16.20.060 of the Village Development Ordinance.
3.
Procedure.
a.
The development plan shall be approved pursuant to Sections 16.20.070 through 16.20.130 of the Village Development Ordinance.
b.
Likewise, all documents, all covenants, easements, agreements and other documents affecting the planned development shall be recorded in the Office of the Recorder of Deeds of the county in which the planned unit development is located.
c.
From time to time the applicant may make minor changes in the preliminary plans submitted herein, but any such changes shall be made only with the approval of the Zoning Administrator or, upon his or her denial thereof, with the approval of the Corporate Authorities.
(Ord. 2006-13 § 2, 2006; Ord. 2004-100 § 22, 2004; Ord. 2002-27 § 2, 2002)
(Ord. No. 2010-9, § 2, 2-22-2010; Ord. No. 2013-8, § 3, 2-4-2013; Ord. No. 2013-34, § 1, 6-17-2013; Ord. No. 2014-39, § 1, 5-19-2014; Ord. No. 2014-43, §§ 32—35, 6-16-2014; Ord. No. 2016-008, § 3, 2-22-2016)