GENERAL PROVISIONS
Whenever any provision of this ordinance imposes more stringent requirements, regulations, restrictions or limitations than are imposed or required by the provisions of any other law or ordinance, then the provisions of this ordinance shall govern. Whenever the provisions of any other law or ordinance impose more stringent requirements than are imposed or required by this ordinance, then the provisions of such ordinance shall govern.
State Law reference— Conflicts between zoning and other ordinances, MCL 125.3210.
No building or structure, or part thereof, shall hereafter be erected, constructed or altered and maintained, and no new use or change shall be made or maintained of any building, structure or land, or part thereof, except in conformity with the provisions of this ordinance.
1.
Intent. It is the intent of this ordinance to permit legal nonconforming lots, structures, or uses to continue until they are removed but not to encourage their survival.
It is recognized that there exists within the districts established by this ordinance and subsequent amendments, lots, structures, and uses of land and structures which were lawful before this ordinance was passed or amended which would be prohibited, regulated, or restricted under the terms of this ordinance or future amendments.
Such uses are declared by this ordinance to be incompatible with permitted uses in the districts involved. It is further the intent of this ordinance that nonconformities shall not be enlarged upon, expanded or extended, nor be used as grounds for adding other structures or uses prohibited elsewhere in the same district.
A nonconforming use of a structure, a nonconforming use of land, or a nonconforming use of a structure and land shall not be extended or enlarged after passage of this ordinance by attachment on a building or premises of additional signs intended to be seen from off the premises, or by addition of other uses of a nature which would not be permitted generally in the district involved.
If a building permit has been issued for a building prior to the passage of this ordinance, such building shall be permitted, even if nonconforming to the provisions of this ordinance, provided: (1) Construction is begun within 30 days after the effective date of this ordinance, (2) That construction is continuous until the building is completed, (3) That actual construction has been undertaken at the time of the effective date of this ordinance when the building permit was issued more than 60 days prior to the effective date of this ordinance.
2.
Nonconforming lots. In any district in which single-family dwellings are permitted, notwithstanding limitations imposed by other provisions of this ordinance, a single-family dwelling and customary accessory buildings may be erected on any single lot of record at the effective date of adoption or amendment of this ordinance. This provision shall apply even though such lot fails to meet the requirements for area or width, or both, that are generally applicable in the district; provided that yard dimensions and other requirements not involving area or width or both, of the lot shall conform to the regulations for the district in which such lot is located. Yard requirement variances may be obtained through approval of the board of appeals.
3.
Nonconforming uses of land. Where, at the effective date of adoption or amendment of this ordinance, lawful use of land exists that is made no longer permissible under the terms of this ordinance as enacted or amended such use may be continued, so long as it remains otherwise lawful, subject to the following provisions:
a.
No such nonconforming use shall be enlarged or increased, nor extended to occupy a greater area of land than was occupied at the effective date of adoption or amendment of this ordinance;
b.
No such nonconforming use shall be moved in whole or in part to any other portion of the lot or parcel occupied by such use at the effective date of adoption or amendment of this ordinance;
c.
If the use of any nonconforming structure or land is discontinued through abandonment, vacancy, lack of operation or as otherwise provided by law, for a continuous period of 365 days or more, then the use of such structure or land shall not be resumed until such use or structure strictly conforms to the regulations specified by this zoning ordinance for the district in which such building or land is located. A structure or use of land is deemed to be discontinued and abandoned if, in addition to the use ceasing for 365 days, any one or more of the following conditions exist:
(a)
Utilities, such as water, gas and electricity to the property have been disconnected;
(b)
The property, building or grounds have fallen into disrepair in a manner which result in a violation of applicable zoning and property maintenance codes or would otherwise give the appearance of neglect or abandonment;
(c)
Signs or other indications of the existence of the non-conforming use have been removed;
(d)
Equipment or fixtures necessary for the operation of the non-conforming use have been removed;
(e)
Other actions which, in the opinion of the city manager or zoning administrator, constitute an intention on the part of the property owner or lessee to abandon the non-conforming use or structure.
4.
Nonconforming structures. Where a lawful structure exists at the effective date of adoption or amendment of this ordinance that could not be built under the terms of this ordinance by reason of restrictions on area, lot coverage, height, yards, or other characteristics of the structure or its location on the lot, such structure may be continued so long as it remains otherwise lawful, subject to the following provisions:
a.
No such structure may be enlarged or altered in a way which increases its nonconformity. Such structures may be enlarged or altered in a way which does not increase its nonconformity.
b.
Should such structure be destroyed by any means to an extent of more than 60 percent of its replacement costs, exclusive of the foundation, it shall be reconstructed only in conformity with the provisions of this ordinance.
c.
Should such structure be moved for any reason for any distance whatever, it shall thereafter conform to the regulations for the district in which it is located after it is removed.
5.
Nonconforming uses of structures and land. If a lawful use of a structure, or a structure and land in combination, exists at the effective date of adoption or amendment of this ordinance, that would not be permitted in the district under the terms of this ordinance, the lawful use may be continued so long as it remains otherwise lawful, subject to the following provisions:
a.
No existing structure devoted to a use not permitted by this ordinance in the district in which it is located shall be enlarged, extended, constructed, reconstructed, moved or structurally altered except in changing the use of the structure to a use permitted in the district in which it is located.
b.
Any nonconforming use may be extended throughout any parts of a building which were manifestly arranged or designed for such use, and which existed at the time of adoption or amendment of this ordinance, but no such use shall be extended to occupy any land outside such building.
c.
If no structural alterations are made, any nonconforming use of a structure, or structure and land in combination, may be changed to another nonconforming use of the same or a more restricted classification provided that the board of appeals, either by general rule or by making findings in the specific case, shall find that the proposed use is equally appropriate or more appropriate to the district than the existing nonconforming use. In permitting such change, the board of appeals may require conditions and safeguards in accord with the purpose and intent of this ordinance. Where a nonconforming use of a structure, land, or structure and land in combination is hereafter changed to a more conforming use, it shall not thereafter be changed to a less conforming use.
d.
Any structure, or structure and land in combination, in or on which a nonconforming use is superseded by a permitted use, shall thereafter conform to the regulations for the district in which such structure is located, and the nonconforming use may not thereafter be resumed.
e.
Reserved.
f.
Where nonconforming use status applies to a structure and land in combination, removal or destruction of the structure shall eliminate the nonconforming status of the land.
6.
Repairs and maintenance. On any building devoted in whole or in part to any nonconforming use, work may be done in any period of 12 consecutive months on ordinary repairs, or on repair or replacement of nonbearing walls, fixtures, wiring or plumbing to an extent not exceeding 50 percent of the equalized value of the building, provided that the cubic content of the building as it existed at the time of passage or amendment of this ordinance shall not be increased. Nothing in this ordinance shall be deemed to prevent the strengthening or restoring to a safe condition of any building or part thereof declared to be unsafe by any official charged with protecting the public safety, upon order of such official.
7.
Uses under exception provisions not nonconforming uses. Any use for which a special exception is permitted as provided in this ordinance shall not be deemed a nonconforming use, but shall, without further action, be deemed a conforming use in such district.
8.
Change of tenancy or ownership. There may be a change of tenancy, ownership or management of any existing nonconforming uses of land, structures or land and structures in combination.
(Ord. No. 736, §§ 1, 2, 12-2-2013)
State Law reference— Nonconforming uses or structures, MCL 125.3208.
Accessory buildings, except as otherwise permitted in this ordinance, shall be subject to the following regulations:
1.
Where the accessory building is structurally attached to a main building, it shall be subject to and, must conform to, all regulations of this ordinance applicable to main building.
2.
Buildings accessory to residential buildings shall not be erected in any required yard, except a rear yard.
3.
Buildings accessory to residential buildings shall not occupy more than 25 percent of a required rear yard, provided further that no accessory building shall exceed the ground floor area of the main building.
4.
A single-story detached building not exceeding 14 feet in height, accessory to a residential building shall be located no closer than three feet from any side or rear lot line.
In those instances where the rear lot line is coterminous with an alley right-of-way, the accessory building shall not be closer than one foot to such rear lot line. In no instance shall an accessory building be located within a dedicated easement right-of-way.
5.
A detached accessory building in R-1 through R-3, RM-1, RM-2, O-S and P-1 Districts may have a maximum height of one and one-half stories and 16 feet, or the height of the principal structure, whichever is less.
A detached accessory structure greater than 14 feet in height shall have a setback of no less than five feet.
6.
When an accessory building is located on a corner lot, the side lot lien of which is substantially a continuation of the front lot line of the lot to its rear, said building shall not project beyond the front yard setback required on the lot in rear of such corner lot. In no instance shall an accessory building be located nearer than ten feet to a street right-of-way line.
7.
Accessory buildings in residential districts may only be used for storage, hobby or home business use as regulated by section 401(7).
8.
The parking of a trailer coach for periods exceeding 24 hours on lands not approved for trailer courts shall be expressly prohibited, except that the building inspector may extend temporary permits allowing the parking of a trailer coach in a rear yard on private property, not to exceed a period of two weeks. All trailer coaches owned by residents of the city and stored on their individual lots shall be stored only within the confines of the rear yard and shall further respect the requirements of this Section applicable to accessory buildings, insofar as distances from principal structures, lot lines, and easements are concerned. All trailer coaches parked or stored, shall not be connected to sanitary facilities and shall not be occupied.
(Ord. No. 751, § 4, 8-3-2015)
(a)
Intent. This section shall apply to all zoning districts as provided for herein. The purpose of this section is to make the city safe and accessible for drivers, pedestrians and cyclists in the design of all parking areas by promoting site designs that help to reduce conflicts, enhance the community and support a multi-modal transportation mix.
(b)
General provisions applying to all zoning districts.
(1)
No parking area, driveway, or off-street parking space shall be constructed, expanded or improved without a zoning permit. Normal maintenance, such as regrading of legal non-conforming gravel parking areas or the addition of top coat or sealer to existing paved parking areas, will not trigger full off-street parking compliance; however, pulverizing an existing asphalt, concrete or other paved parking surface, the outright removal or substantial modification of the paved surface in preparation for paving and demolition by neglect which serves to return a parking area substantially to gravel or other aggregate surface, shall, for the purposes of this section, be considered new parking.
(2)
New parking lot construction shall require a detailed site plan in accordance with section 1716 and planning commission approval. Driveways in single family zoning districts are exempt from this requirement.
(3)
Any expansion of an existing building shall require review of the adequacy of on-site parking.
(4)
Required off-street parking spaces shall not be replaced by any other use unless and until an equal number of parking spaces are provided elsewhere and are so provided in compliance with this section.
(5)
All parking areas and driveways shall be constructed with an approved hard surface: paved with asphalt, concrete or other similar materials, which shall extend as a continuous uninterrupted pavement from the garage, parking area or combination thereof to a street or alley. Driveway approaches shall be concrete and provide for a sidewalk profile. The parking area shall be surfaced within one year of the date the zoning permit is issued.
(6)
To minimize excessive areas of pavement that contribute to higher rates of storm water runoff, exceeding the parking space requirements of subsection 1704(h) in non-residential districts shall be prohibited.
(7)
Driveway curb cuts shall be placed at least 30 feet from an intersection measured from the radius sprint point as defined in section 1714.
(8)
Driveway curb cuts shall be no wider than 16 feet in one- and two-family districts and 24 feet in commercial districts.
(c)
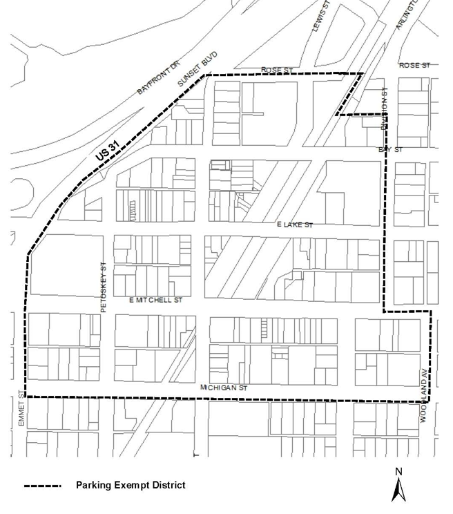
Exception to general provisions. The area delineated as the Central Business Parking Exempt District is exempt from providing off-street parking, but if off-street parking and loading requirements are provided, the lot shall meet all applicable design standards of this Zoning Code. The Central Business Parking Exempt District is defined as the area bounded by Michigan Street on the south, Rose Street on the north, U.S. 31 and Emmet Street on the west, and on the east, it follows Woodland and Division Streets to a point 138 feet north of the Bay Street right-of-way to an east-west alley, thence west to the former railroad corridor now identified as the Downtown Greenway Corridor, thence northeast until it reaches the Rose Street right-of-way as illustrated below:
(d)
One- and two-family residential parking area and driveway requirements.
(1)
General requirements.
a.
In no case should more than 40 percent of a required front yard be a paved surface. Parking on non-paved surfaces is prohibited.
b.
A one-family dwelling is restricted to a single curb cut.
(e)
Multifamily parking area and driveway design requirements.
(1)
General requirements.
a.
Parking areas shall be located to the rear of the building or internal to the building to continue or establish a continuous facade wall along the street and/or to conceal the expanse of parking area.
b.
Bicycle parking shall be provided for any building with five or more units at a ratio of one space per two units. See subsection 1704(g)(2).
(f)
Commercial parking area and driveway design requirements.
(1)
General requirements.
a.
Parking areas shall not be located within a required front-yard setback or a street frontage side-yard setback on a corner lot.
b.
Parking areas shall have barriers such as concrete bumpers or curbs to prevent vehicles from extending over or into any public sidewalk, walkway, rights-of-way or landscape buffer areas. Parking areas shall include striping that delineates each individual parking space.
c.
The storage of merchandise, motor vehicles for sale, trucks, or the repair of vehicles is prohibited within a required off-street parking area.
d.
Parcels greater than 100 feet in width shall have curb cuts at least 60 feet from an intersection measured from the curb face.
e.
Curb cuts shall be aligned with driveways on the opposite side of the street or offset a minimum distance of 30 feet.
f.
Driveways on the same side of the street shall be separated by at least 30 feet, measured from the entrance radius spring point as illustrated in section 1714.
g.
Any new parking lot with at least ten vehicle parking spaces shall provide bicycle parking for a minimum of one bicycle and one additional bicycle parking space per 15 vehicle parking spaces. See subsection 1704(g)(2).
(2)
Use of on-street parking to meet parking requirements.
a.
Upon planning commission review and approval, on-street parking may be used for up to 20 percent of parking space requirements, not exceeding six spaces, provided that:
1.
The on-street spaces are within 300 feet walking distance from the main entrance of the subject building;
2.
An on-street parking space shall not be counted unless its entire area falls within said 300-foot walking distance; and
3.
An on-street parking space shall not be counted if it is restricted in its use as a designated loading zone or if parking is prohibited for more than five hours in any 24-hour period.
(3)
Shared parking agreements. Where a mix of land uses creates staggered peak periods of parking demand, shared parking agreements that have the effect of reducing the total amount of required parking spaces are encouraged. Shared parking agreements for off-street parking for two or more buildings or uses is permitted subject to the following:
a.
The total number of required parking spaces for each use on each lot shall not be reduced by more than 25 percent.
b.
Shared parking areas shall be located within 300 feet of the use, measured from the nearest point of the building to the nearest point of the off-street parking area or space.
c.
If lots are adjacent, they shall be interconnected for vehicular passage.
d.
Written agreements that provide for continued use and maintenance of shared parking shall be submitted at the time of site plan or zoning permit approval. All agreements shall include provisions to address changes in use.
e.
Shared parking agreements or leases shall remain in full force and effect binding on both parties. In the event the shared parking agreement or lease is terminated by either party, or is not being enforced or complied with, full parking requirements must be met.
(g)
Dimensional requirements for parking lots.
(1)
Vehicle parking.
a.
All parking lot spaces shall be provided adequate access by means of maneuvering lanes; access directly onto a street or public right-of-way shall be prohibited.
b.
Maneuvering lanes for 90° parking patterns shall accommodate two-way traffic.
c.
Parking spaces and maneuvering lanes shall be provided in accordance with the requirements below.
d.
A driveway that is not a property-line shared driveway shall be a minimum of five feet from the property line.
PARKING LOT DIMENSIONAL REQUIREMENTS
(2)
Bicycle parking.
a.
A bicycle parking space is an area provided for bike parking with a dedicated bicycle rack; the size or number of racks is dependent on the number of bicycle parking spaces required.
b.
Bicycle rack requirements.
1.
The bicycle rack must be within 50 feet of the main building entrance or inside a building in a location that is easily accessible by bicyclists;
2.
The bicycle frame and one wheel can be locked to the rack with a high security, U-shaped shackle lock if both wheels are left on the bicycle;
3.
A bicycle six feet long can be securely held with its frame supported so that the bicycle cannot be pushed or fall in a manner that will damage the wheels or components;
4.
The rack must be securely anchored when necessary; and
5.
Each required bicycle parking space must be accessible without moving another bicycle and there must be an aisle at least five feet wide behind all required bicycle parking to allow room for bicycle maneuvering.
(3)
Landscaping.
a.
Parking area landscaping requirements as established in section 1709 shall be followed.
(h)
Required number of parking spaces by use.
(Ord. No. 756, § 1, 10-3-2016; Ord. No. 759, § 7, 2-19-2018; Ord. No. 777, § 1, 5-18-2020)
Editor's note— Ord. No. 756, § 1, adopted Oct. 3, 2016, repealed the former § 1704, and enacted a new § 1704 as set out herein. The former § 1704 pertained to off-street parking requirements and derived from Ord. No. 597, § 1, adopted Mar. 16, 1987; and Ord. No. 632, § 7, adopted Oct. 21, 1991.
Cross reference— Parking, stopping and standing, ch. 21, art. III.
Editor's note— Ord. No. 756, § 2, adopted Oct. 3, 2016, repealed § 1705, which pertained to off-street parking space layout, standards, construction and maintenance, and derived from Ord. No. 632, § 8, adopted Oct. 21, 1991; and Ord. No. 669, § 1, adopted July 19, 1999.
(a)
Loading spaces shall be provided on the same property as any nonresidential use involving the receipt or distribution of materials or merchandise, except within the Central Business District where alleys may be used for loading.
(b)
Loading spaces shall be provided adequate access by means of maneuvering lanes; access directly onto a street or public right-of-way shall be prohibited.
(c)
Loading spaces shall be located within the rear yard or side yard in any zoning district other than the industrial districts (11 and 12). Landscaping and buffering, in addition to that required by section 1709, shall be provided to fully screen loading spaces from public view when located in an interior side yard, unless the planning commission determines such screening is not needed based on existing land uses, site features or topography.
(d)
Loading spaces shall be at least ten feet in width, 25 feet in length, and have height clearance of 14 feet.
(e)
Loading spaces shall be located so loading and unloading activities do not interfere with pedestrian or private motor vehicle movement.
(Ord. No. 756, § 3, 10-3-2016)
Editor's note— Ord. No. 756, § 3, adopted Oct. 3, 2016, repealed the former § 1706 and enacted a new § 1706 as set out herein. The former § 1706 pertained to off-street loading and unloading and derived from the original Code.
Because the uses hereinafter referred to possess unique characteristics making it impractical to include them in a specific use district classification, they may be permitted by the board of appeals under the conditions specified, and after public hearing, and after a recommendation has been received from the planning commission. In every case, the uses hereinafter referred to shall be specifically prohibited from any residential districts.
These uses require special consideration since they service an area larger than the city and require sizable land areas, creating problems of control with reference to abutting use districts. Reference to those uses falling specifically within the intent of this section is as follows:
1.
Commercial television and radio towers and public utility microwaves, and public utility T.V. transmitting towers. Radio and television towers, public utility microwaves and public utility t.v. transmitting towers, and their attendant facilities shall be permitted in I-1 and I-2 districts provided said use shall be located centrally on a zoning lot on which the distance from the base of the tower to all points of each property is not less than the height of the tower.
2.
Mobile homes and trailer courts. Mobile home courts may be permitted in the B-3 districts, or as a transition use in "I" districts provided the following conditions are satisfied:
a.
Trailer courts for the parking of two or more trailers shall be developed pursuant to the requirements of Act 243 of the Public Acts of the State of Michigan, 1959, as amended [MCL § 125.-1001 et seq.].
b.
No land shall hereafter be utilized for the erection, construction, operation and/or maintenance of a residential mobile home or trailer coach park as defined by the laws of the State of Michigan, except upon application for a permit from the city signed by the person, firm or corporation seeking the permit and by the owner and legal title holder of the property sought to be used for such purposes.
c.
The land parcel being proposed for trailer courts shall be of such land areas as to provide for a minimum of at least 20 trailer coach sites.
d.
Trailer coach sites shall contain a minimum area of at least 4,000 square feet. All such trailer site areas shall be computed exclusive of service drives, facilities and recreation space.
e.
All trailer courts shall have access to major or secondary thoroughfares within the city by directly abutting thereon. Frontage on said thoroughfare shall be equal to at least 200 feet in width.
f.
A wall, or obscuring fence four feet and six inches in height shall be provided on all sides of the trailer court, with the exception of that portion providing ingress and egress to the site.
g.
Fences when provided around trailer lots shall be uniform in height and shall not exceed 30 inches in height and shall be constructed in such a manner as to provide firemen access to all sides of each trailer.
h.
Recreation space and landscaping as follows:
1.
There shall be provided an area of not less than 100 square feet for recreation, for each trailer space in the trailer park, with a minimum area of not less than 5,000 square feet, which shall be no longer than two times its width. Such area shall be developed and maintained by the management so as to provide healthful recreation for the children housed in the mobile home park.
2.
The front yard and the side yard adjacent to a street shall be landscaped and the entire trailer park shall be maintained in a clean, presentable condition at all times.
i.
The sum of the side yards at the entry side of and non-entry side of a mobile home stand shall be not less than 20 feet; provided however, there shall be a side yard of not less than 15 feet at the entry side of the mobile home stand and a side yard of not less than five feet at the non-entry side of the mobile home stand. There shall be a rear yard of not less than five feet at the rear end of the stand and a front yard of not less than ten feet at the front end of the mobile home stand. For irregularly shaped side yards, the sum is determined as the sum of the average width of each side yard, provided that the required minimums above are maintained at all points in the side yard.
j.
No mobile home shall be located closer than 50 feet to the right-of-way line of a major thoroughfare, or 20 feet to any mobile home park property line.
1.
For those districts and uses listed below there shall be provided and maintained an obscuring wall as required by the conditions, heights, and locations noted: (See Table in Fig. 13)
_____
FIG. 13
_____
2.
Obscuring walls shall not be required when any building, parking or storage area within any district requiring a wall, or any use requiring a wall, when such buildings, parking or storage areas are located more than 200 feet from an abutting residential district.
3.
Required walls shall be located on the lot line except where underground utilities interfere and except in instances where this ordinance requires conformance with front yard setback lines in abutting residential districts. Upon review of the site plan, the planning commission may approve an alternate location for the wall or may waive the wall requirement if in specific cases it would not serve the purposes of screening the parking area effectively. Required walls may, upon approval of the board of appeals, be located on the opposite side of an alley right-of-way from a nonresidential zone that abuts a residential zone when mutually agreeable to affected property owners. The continuity of the required wall on a given block will be a major consideration of the board of appeals in reviewing such request.
4.
Walls shall be of masonry construction. Decorative openings in the wall may be permitted provided they do not exceed 20 percent of the surface. Where walls are so pierced, the openings shall be spaced as to maintain the obscuring character required and shall be reviewed and approved by the building inspector.
5.
Where an obscuring wall is required, a landscaped earthmound may be permitted in lieu of such wall, provided that the height of the earthmound not be less than the required height of the obscuring wall.
6.
The board of appeals may waive or modify for foregoing requirements where cause can be shown that no good purpose would be served, provided that in no instance shall a required wall be permitted to be less than four feet six inches in height except where section 1714 applies.
In consideration of request to waive wall requirements between nonresidential and residential districts, the board shall refer the request to the planning commission for a determination as to whether or not the residential district is considered to be an area in transition and will become nonresidential in the future.
In such cases as the planning commission determines the residential district to be a future nonresidential area, the board may temporarily waive wall requirements for an initial period not to exceed 12 months. Granting of subsequent waivers shall be permitted, provided that the planning commission shall make a determination as hereinbefore described, for each subsequent waiver prior to the granting of such waiver by the board.
Whenever in this ordinance a greenbelt or planting is required, it shall be planted within six months from the date of issuance of a certificate of occupancy and shall thereafter be reasonably maintained with permanent plant materials to provide a screen to abutting properties. Suitable materials equal in characteristics to the plant materials listed with the spacing as required shall be provided. (See Table in Fig. 14)
_____
SUGGESTED PLANT MATERIALS
FIG. 14
_____
1.
Plant material spacing.
a.
Plant materials shall not be placed closer than four feet from the fence line or property line.
b.
Where plant materials are placed in two or more rows, plantings shall be staggered in rows.
c.
Evergreen trees shall be planted not more than 30 feet on centers.
d.
Narrow evergreens shall be planted not more than six feet on centers.
e.
Tree-like shrubs shall be planted not more than ten feet on centers.
f.
Large deciduous shrubs shall be planted not more than four feet on centers.
g.
Large deciduous trees shall be planted not more than 30 feet on centers.
2.
Trees not permitted.
a.
Box elder.
b.
Soft maples.
c.
Elms.
d.
Poplars.
e.
Ailanthus (tree of heaven).
Signs shall be regulated as provided in Ordinance No. 550 (Appendix C of this Code).
(Ord. No. 550, § 12, 2-7-1983)
1.
All outdoor lighting in all use districts used to light the general area of a specific site shall be shielded to reduce glare and shall be so arranged as to reflect lights away from all adjacent residential districts or adjacent residences.
2.
All outdoor lighting in all use districts shall be directed toward and confined to the ground areas of lawns or parking lots.
3.
All lighting in nonresidential districts used for the external illumination of buildings, so as to feature said buildings, shall be placed and shielded so as not to interfere with the vision of persons on adjacent highways or adjacent property.
4.
All illumination of any outdoor feature shall not be of a flashing, moving or intermittent type. Artificial light shall be maintained stationary and constant in intensity and color at all times when in use.
All fences shall require a zoning compliance permit issued by the zoning administrator and shall comply with the following regulations and requirements.
(1)
Location (see Figure 1712).
a.
Corner-front yard. Only decorative and living fences are allowed within a corner-front yard with a minimum setback of two feet from the street-fronting property line.
b.
Side and rear yards. Fences may be placed up to a lot line in side and rear yards.
c.
Fences shall be located so as to not obstruct corner clearance or vision of motorists exiting driveways.
d.
No fence shall be placed within the city right-of-way and if so placed shall be removed at the owner's expense.
e.
Underground electric fences shall be set a minimum of five feet from a front or corner-front property line.
(2)
Height and design restrictions.
a.
Side and rear-yard fences shall not exceed six feet in height and shall not extend beyond the principal structure into a front yard.
b.
Corner-front yard decorative fences shall not exceed three and one-half feet (42 inches) in height and shall not obstruct vision to an extent greater than 50 percent of total area.
c.
Chain link fences are only allowed in rear and side yards.
d.
Living fences shall not exceed three feet in height in a corner-front yard, shall be placed so that growth is kept at least two feet from the property line, and shall not contain invasive species.
e.
Fences that enclose public or institutional parks, playgrounds, or public landscaped areas, situated within an area developed with recorded lots shall not exceed eight feet in height, measured from the surface of the ground.
f.
Fences may be placed on retaining walls, berms or similar features with the fence height to be measured from the established grade.
g.
All fences shall have the finished side facing the adjacent property or public right-of-way.
(3)
Maintenance of nuisances. Fences shall be maintained so as not to endanger life or property. Any fence which, through lack of repair, type of construction, or otherwise, endangers life or property is hereby deemed a nuisance per chapter 13 of this Code.
(Ord. No. 708, § 1, 6-1-2009; Ord. No. 770, 5-20-2019)
_____
In all residential districts, so called entranceway structures including, but not limited to: walls, columns, and gates marking entrances to single family subdivisions or multiple housing projects may be permitted and may be located in a required yard, except as provided in sec. 1714 Corner Clearance, provided that such entranceway structures shall comply to all codes of the City of Petoskey, and shall be approved by the building department and a permit issued.
Any vision obstruction to vehicular traffic, including fences, walls, shrubbery, hedges, trees or signs above a height of two feet from the street midpoint height are not permitted within the vision triangle. The vision triangle is the area at an intersection formed by extending a straight line 20 feet along the back of each curb from its radius spring point and connecting these two points (see section 1714, Figure A). Obstructions not in conformity with this ordinance identified by city staff to negatively impact public safety shall be removed at the property owner's expense.
SECTION 1714
FIGURE A
(PL = Property Line)
(Ord. No. 708, § 2, 6-1-2009)
Cross reference— Traffic and motor vehicles, ch. 21.
No lot shall be used for any purpose permitted by this ordinance unless said lot abuts a public street, unless otherwise provided for in this ordinance.
1.
[Requirements.] A site plan review is required for:
a.
Any use or development for which the submission of a site plan is required by any provision of this ordinance.
b.
Any development, except single-family and two-family residential, for which off-street parking areas are provided as required in section 1704, Off-street parking requirements.
c.
Any use in an RM-1, RM-2, OS-1, B-1, B-2, B-3, B-3a, I-1 or I-2 district lying contiguous to, or across a street from, a single-family residential district.
d.
Any use except single or two-family residential which lies contiguous to major thoroughfare or collector street.
e.
All residentially-related uses permitted in single-family district such as, but not limited to, churches, schools, and public facilities.
f.
Building additions or accessory buildings shall not require planning commission review unless off-street parking in addition to that already provided on the site is required.
g.
Multiple-detached, single-family dwelling units on a single parcel shall require site plan review unless a plan is submitted showing that the dwelling units, accessory structures and parking areas are located such that the parcel could be divided in the future into conforming lots (based upon lot width, lot area and location of structures) in the zoning district in which the property is located.
In review of a site plan for multiple-detached units on one lot, the planning commission may consider setbacks and other zoning ordinance standards applicable to single-family dwelling units in the zoning district which overlays the site.
2.
Site plan review package. A complete site plan review package shall include all of the items listed below and shall be submitted and reviewed in accordance with the planning commission bylaws. The city reserves the right to reject incomplete site plan review packages.
a.
Fee: The petitioner, for a site plan review, shall pay the required fee to the city.
b.
Application form: A signed and completed application form shall be included.
c.
Professional drawing(s): All site plans shall be prepared by a registered professional architect, engineer, landscape architect or surveyor who shall then provide at least one copy of the drawing(s) embossed with his or her professional seal.
d.
Number of drawings: 15 copies of the site plan drawing shall be submitted to the city.
e.
Information on drawings:
(1)
Legend:
(a)
Project title.
(b)
Name and address of person preparing the plan.
(c)
North arrow.
(d)
Scale (not less than one inch equals 50 feet for less than three acres, or one inch equals 100 feet if three acres or more).
(e)
Date of drawing and any revisions.
(f)
Street address location of project.
(2)
Site data:
(a)
Site size in lot width and depth.
(b)
Property use, present and proposed.
(c)
Setbacks (ordinance requirements/proposed).
(d)
Building heights (ordinance requirements/proposed).
(e)
Lot area (ordinance requirements/proposed).
(f)
Total building area and usable floor area of commercial buildings.
(g)
Off-street parking (ordinance requirements/proposed).
(h)
Barrier-free parking (ordinance requirements/proposed).
(i)
Number of dwelling units (ordinance requirements/proposed).
(j)
Present lot coverage (ordinance requirements/proposed).
(k)
Screening (ordinance requirements/proposed).
(3)
Graphic illustration: The following items shall be included in a complete site plan drawing. The petitioner may want to show existing features on a separate drawing from proposed improvements for better illustration.
(a)
Freestanding and directional signs shall be labeled with setback, height, and relative location measurements provided, and with elevation drawings, unless proposed for separate review.
(b)
Hydrants: For large sites such as apartment complexes, subdivisions, or shopping centers, existing and proposed hydrants shall be shown.
(c)
Ingress/egress for the site shall be shown with the location, throat width, radii and depth of all driveway dimensions labeled, including the distance to other driveways or intersections shown within 100 feet of the site. Include any driveways across the street.
(d)
Landscaping, fencing, berms, walls, lawns or greenbelt as existing and as proposed shall be shown on the drawing. Existing trees or shrubs shall be labeled and identified as to species, typical or significant size, and whether they are to be saved or removed. Proposed landscape materials should be labeled as to species, size and quantity. Fences or walls should be identified by type and material. Berms should be illustrated as to width, height and slope.
(e)
Lighting fixtures that are freestanding or attached to a building shall be shown and shall be labeled as to type and height of fixture for parking areas, walkways, buildings, exteriors, etc.
(f)
Loading zones, truck docks and similar facilities should be labeled with exterior dimensions provided.
(g)
Natural features such as unique or constraining soils, creeks, ponds, drainage courses, wetlands, floodplains, etc., shall be shown.
(h)
Parking lots and layouts shall show existing and proposed access, aisles, fire lanes, location of parking spaces, location of handicapped spaces and shall provide labeling of dimensions of such elements. All pavement markings shall be shown as proposed and type of parking lot surface identified. Snow storage areas, if applicable, shall be identified for parking lots.
(i)
Principal and accessory buildings and structures shall be shown with perimeter dimensions, and with identification of building entrances/exits.
(j)
Sidewalks shall be shown at street frontage locations and near buildings, with any barrier-free access ramps labeled.
(k)
Site location and surroundings shall be shown by illustrating all buildings within 100 feet of the site.
(l)
Site plan compliance certificate: A certificate for [of] occupancy shall not be issued for a building approved as part of a site plan review until a final inspection has been conducted by city staff to determine if the site improvements comply with all requirements of the approved site plan. The city would then issue a site plan compliance certificate for the property. The city may issue a temporary occupancy certificate for approved projects where conditions require a delay in site improvements, only where a performance bond (cash, certificate of deposit, bank letter of credit) is provided, in an amount equal to 100 percent of the value of the site improvements as estimated by a registered engineer, architect or landscape architect or by a licensed contractor. Only upon completion of site improvements and upon obtaining a site plan compliance certificate will the performance bond be returned to the applicant. A site plan compliance certificate will not be issued until as-built drawings, reflecting any changes for site improvements, including utilities, are submitted and approved.
(m)
Soil erosion control plan: Plans for soil erosion control shall be submitted in accordance with provisions of Michigan Public Act 347.
(n)
Stormwater drainage shall be shown on-site and at adjacent streets, including existing and proposed catchbasins, proposed direction of surface drainage flow on impervious surfaces, and proposed connections to street stormwater drains. If stormwater retention areas are to be established, they shall be identified and illustrated as to outside limits, elevations of the bottom and top of the retention area, capacity, and the percent grade of all slopes.
(o)
Streets adjacent to the site shall be labeled, with identification of right-of-way width, pavement width, and shall show size and location of any underground stormwater sewer.
(p)
Topography, such as existing steep embankments or abrupt grade changes that present physical limitations or special considerations for site layout, shall be shown with an estimate of the percent grade or difference in elevation from top to bottom of such a feature. Proposed grade and elevation changes on the site shall be shown. If a retaining wall is to be used, the height of the structure and proposed material to be used should be labeled or illustrated.
(q)
Trash dumpsters (if any) shall be shown with illustration of proposed structure and materials to be used for screening. For large sites such as shopping centers, institutional campuses, etc., site trash receptacles should be shown.
(r)
Utilities, existing and proposed, including water and electric service lines, shall be shown for new developments and labeled as to capacity, location, etc.
3.
Standard performance requirements for site plan elements. Specific standards for accessory buildings, off-street parking, off-street loading and unloading, roads and streets, walls, plant materials, exterior lighting, fences and hedges, residential entranceways and corner clearance shall be found in sections 1703 through 1714 of this ordinance and in the Petoskey Subdivision Regulations, Appendix B of the Petoskey Code of Ordinances. In addition, the following standards shall apply:
a.
Buildings and accessory structures. The city will review building locations with consideration of on-site and off-site conditions. In particular, building and structure locations will be examined with consideration for:
(1)
Best on-site circulation and ingress/egress for pedestrians and vehicles.
(2)
Proximity of buildings on adjacent sites, particularly with regard to doorways, windows, docks or loading areas of on-site or off-site structures.
(3)
Accessibility of building and its entrances for emergency vehicles and equipment.
(4)
Visual image of the building(s) and its facades as presented from the street view. Screening of rooftop mechanical units, vents, or other equipment shall be incorporated into architectural plans.
(5)
Proximity to residential building(s) or site(s).
(6)
Location relative to street(s), alley(s), etc., and impact upon clear vision areas.
(7)
Necessity for screening of accessory equipment or ground structures will be examined.
(8)
Location of accessory structures in appropriate yard areas as designated in section 1703 of this ordinance.
b.
Ingress/egress. Curb cut locations for ingress and egress shall be subject to final review and approval of the city and shall meet standards provided in particular sections of this zoning ordinance, as well as engineering requirements of the department of public works. Curb cuts on a state highway must also meet Michigan Department of Transportation standards and approval. In addition, site plans should be prepared with consideration of the following principles:
(1)
The number of curb cuts for a site should be held to a minimum, and consolidation of curb cuts will be encouraged by the planning commission. The city may require such consolidation as necessary, but may also permit a somewhat larger than standard curb cut width, if needed, when driveways are consolidated.
(2)
Where a corner parcel fronts on a state highway or major city street and also has frontage on a side street, curb cuts may particularly be restricted on the highway or major street as to number of cuts, size of cuts, direction of turning movements, etc.
(3)
The city may also restrict any curb cut as to ingress only or egress only movements, or may eliminate or restrict turning movements at a particular curb cut as deemed necessary.
(4)
Curb cuts on a corner parcel should be located as far from any street intersection as feasible. In addition, the city will consider the relative location of curb cuts at adjacent parcels to provide adequate separation of turning movements. In the case of parcels directly opposite a site plan parcel, curb cut locations will be considered to provide an alignment that reduces conflicting turning movements at opposing curb cuts and at nearby street intersections.
c.
Landscaping/screening/buffering. The city will review landscaping of sites with consideration of the following:
(1)
Landscaping such as trees and shrubs should be used to screen residential areas from light, sound or visual impacts of a commercial or industrial use, or to screen particular on-site elements such as trash storage, utility structures, accessory buildings, parking lots or other such elements. Screening elements should not adversely impact clear vision areas within the site or on ingress/egress points for the site.
(2)
Provision of adequate lawns, trees and shrubs to offer a pleasant site and setting where green lawns and greenbelts offer health, safety and aesthetic benefits, such as cooling of hard surfaces, shading from sun, shelter from wind, open area for recreation or rest by residents or employees, vegetation to soften an urban environment, lawns or plant beds to absorb stormwater drainage and stabilize soils, and varied landscape materials to provide visual relief and interest. Trees included in a landscape plan shall be a minimum of two and one-half inch caliper.
(3)
Berms shall not exceed a 1:3 slope and shall be planted with natural vegetative cover.
(4)
The city may require revision of a site plan to provide the best landscape, greenbelt or open space plan and to incorporate the minimum amount of impervious surface in a site. Landscape materials planted shall meet requirements of section 1709 of this ordinance.
d.
Lighting. Lighting fixtures are to be of the cutoff variety, no greater than 20 feet in height and with down-lighting to be directed on site only. The planning commission may only permit taller or require shorter fixtures where the commission determines that unique conditions exist and where a waiver would reduce the number or size of light fixtures; not adversely impact neighboring properties; and permit fixtures in proportion to height and bulk of nearby buildings and other fixtures. Site lighting shall not exceed 20 footcandles as measured six feet above the ground surface, directly under the fixture.
e.
Natural and historic features. The site plan shall be designed in order to protect and enhance natural and historic features wherever feasible. Plans should be designed to minimize alteration of existing topography on the site and to reduce or eliminate disturbance of natural or historic features.
f.
Parking. Barrier-free spaces shall be provided per Michigan Building Code and located nearest the main entrance or the approach to a ramped entry.
Parking plans that use right angle or parallel parking are preferred. Internal circulation roads that provide access to parking lots should only have parallel parking spaces, if any. Where angle parking is proposed, one-way drives should be provided.
Parking spaces should be set back from entrance drives to avoid conflict between traffic entering a site and vehicles exiting parking spaces. The city may revise a plan as needed to provide the safest, most efficient circulation system possible.
g.
Sidewalks. Site plans should show where sidewalks are to be provided or restored. Pedestrian traffic should be separated from vehicular traffic where possible. Sidewalks should be located so as to provide safe access to building entrances, and to provide safe crossing at driveways, intersections or parking areas. Sidewalks shall meet standards and specifications of the city Code, section [chapter] 18.
h.
Signage. Any freestanding signs or directional signs may be shown on a site plan. The city will review the sign location in accordance with provisions of the city sign ordinance, Appendix C of the city Code of Ordinances.
i.
Stormwater drainage. The city will review and approve stormwater drainage for all site plans. Plans may also require approval of the Michigan Department of Transportation where stormwater drainage facilities owned by the state are proposed for use.
All runoff generated from site improvements should be retained on site. Stormwater drainage plans shall be designed to detain stormwater from buildings, parking lots and other impervious surfaces on site. Stormwater drainage facilities shall be designed for a 50-year storm event performance standard.
Where sites have adequate open space or lawn area, stormwater retention should be used to minimize the impact upon existing drainage facilities and to allow for on-site filtration and settling. Retention basin slopes shall not exceed 1:3.
Where drainage is directed to a street, underground connection via catch basins may be required to minimize surface "sheeting" of drainage across streets, sidewalks or other access areas.
Where there is no available retention area or there is limited stormwater drainage capacity in adjacent storm sewers, plans may utilize a portion of the parking lot on a site for storage of stormwater during peak storm conditions. The site plan drawing shall show the location and perimeter of the area in the lot impacted by stormwater under storm event conditions. Such retention should be removed from high pedestrian or vehicular traffic areas.
All plans should address seasonal requirements for either on-site snow storage or complete removal of plowed snow.
j.
Trash storage. Trash dumpsters shall be screened with a wood privacy-type fence or other solid visual barrier at height equal to or greater than the height of the trash receptacle.
Outdoor trash storage shall be located in a side or rear yard and shall be at least ten feet from any building for fire safety purposes.
If outdoor storage is added to a property after site plan review approval, it shall be provided with screening and shall meet other standards as required in this section and subject to city approval.
k.
Utilities. Location of buildings, structures and other surface features will be reviewed with consideration for access, emergency and otherwise, to public utility facilities on site or nearby.
Utilities shall be provided in compliance with standard specifications and requirements of the department of public works of the city.
Fire hydrants shall be set back from adjacent curbs and roads so as to avoid burial by snowplowing.
4.
General requirements for site plan review. The city will review all site plans with consideration of those elements identified in sections 1703 through 1714, and in section 1716, subsection 3. In addition, any other existing or proposed site plan features impacting the health, safety or welfare of the community shall be considered during the site plan review process. Where the city determines that there may be a negative impact upon the health, safety or welfare of the community, such features may be rejected or alteration of the plan required. The site plans will be considered in the context of the overall community, the properties and features in proximity to the site, and the existing and proposed features within the site.
(Ord. No. 601, § 6-15-1987; Ord. No. 632, § 9, 10-21-1991; Ord. No. 669, § 2, 7-19-1999)
State Law reference— Site plan review, MCL 125.3501.
In review of uses identified in this ordinance as "uses permitted subject to special conditions," the planning commission shall consider the following general standards in addition to any specific standards cited in the ordinance:
a.
The special land use type shall be located on a site of adequate size and appropriate location to make it feasible for that particular use to be compatible with surrounding land uses.
b.
The special land use shall be designed and located in order to protect, accommodate and enhance natural or manmade features of the site such as topography, vegetation, soils, water features, historic structures and scenic views.
c.
The special land use shall be located on a site that can accommodate on-site traffic circulation and vehicle storage needs for the particular use. The use shall not be located on a site or arranged in a manner that would create a significant traffic or pedestrian hazard on adjacent roads or walkways.
d.
The special land use and its accessory uses and structures shall be located and arranged on the site in a manner allowing for adequate buffering and screening to protect adjacent uses and properties where needed.
e.
The scale, bulk, elevation, exterior materials and color of the buildings in the special land use shall be designed to blend with the character of the surrounding land uses and neighborhood. Where the bulk, scale or elevation of such buildings varies greatly from the surrounding structures, greater setbacks may be required.
f.
The special land use shall not be located where, due to use of particular equipment, or import, storage or production of certain materials, or emission of waste products, it would be a significant hazard to adjacent properties.
(Ord. No. 529, § 1, 8-4-1980; Ord. No. 636, § 2, 5-18-1992)
State Law reference— Special land uses, MCL 125.3202.
1.
Notification. The planning commission shall make no decision regarding a special condition use until public notice has been given and a public hearing held in accordance with the following provisions:
a.
Notice shall be provided in the local newspaper.
b.
Notice shall be provided by direct mailing to all property owners and building occupants within 300 feet of the property being considered for the proposed use. In the case of multifamily dwelling units, notification may be provided to the manager of said units for distribution.
c.
Such notice shall be given no less than five and no more than 15 days in advance of the meeting in which the request will be considered.
d.
The notice shall contain information as to the nature of the request and a property description of the parcel or parcels for which the use is requested. The notice shall also indicate the time and place where the request will be considered and shall furnish an address and state a deadline for submission of written comment.
2.
Survey and plans. The applicant shall furnish such surveys, plans or other information as may be reasonably required by said commission for the proper evaluation and consideration of the matter. Where site plan review is also required, the applicant may submit the site plan in conjunction with the special condition use request.
(Ord. No. 544, § 1, 6-7-1982)
State Law reference— Special land uses, MCL 125.3202.
(a)
For those zoning districts where short-term rentals are a principal permitted use, short-term rentals shall be located above the first story of the principal building.
(b)
Properties situated in any district in which short-term rentals are not a principal permitted use are not eligible to receive STR licenses. However, those properties that were properly licensed and operating as a short-term rental prior to December 18, 2023 permitted to continue operating as a short-term rental despite being in a district in which short-term rentals are not a principal permitted use, provided those properties comply with the requirements of this section. The properties "grandfathered" are on file in the city clerk's office. Upon transfer, licensure lapse or revocation of any licensed "grandfathered" property, the licensee shall be deemed to have elected not to renew his or her STR license and to have intended to abandon the license, at which point the property is no longer a "grandfathered" property and no longer available for short term rental licensing.
(c)
Short-term rentals are required to meet all other provisions of chapter 15 of the Petoskey Code of Ordinances, State of Michigan Building Code, International Property Maintenance Code and International Fire Code.
(d)
A short-term rental shall be required to provide one off-street parking space for an efficiency or one-bedroom dwelling unit, two off-street parking spaces for two bedrooms or more and shall meet the provisions of section 1704, off-street parking and driveway curb-cut standards, with the exception of the B-2 (CBD) district where off-street parking is exempt.
(Ord. No. 794, § 3, 12-4-2023; Ord. No. 798, § 3, 1-20-2025)
(a)
[Intent.] The intent of this section is to facilitate and encourage the use of electric vehicles and to expedite the establishment of convenient, cost-effective electrical vehicle infrastructure that such use necessitates.
(b)
General definitions. For purposes of this section, unless otherwise expressly stated, the following words and phrases shall be defined as follows:
ADA accessible electric vehicle charging station means an electric vehicle charging station where the battery charging station is adjacent to an ADA access aisle and electric vehicle parking space.
Battery charging station means an electrical component assembly or cluster of component assemblies designed specifically to charge batteries within electric vehicles.
Battery electric vehicle means any vehicle that operates exclusively on electrical energy from an off-board source that is stored in the vehicle's battery, and produces zero emissions or pollution when stationary or operating.
Charging means an electric vehicle is parked at an electric vehicle charging station and is connected to the battery charging station equipment.
Charging levels means the standardized indicators of electrical force, or voltage, at which an electric vehicle's battery is recharged. The terms 1, 2 and 3 are the most common charging levels, and include the following specifications:
(1)
Level 1 is considered slow charging. Voltage includes the range from zero through 120.
(2)
Level 2 is considered medium charging. Voltage is greater than 120 and includes voltage up to and including 240.
(3)
Level 3 is considered fast or rapid charging. Voltage is greater than 240.
Electric vehicle means any vehicle that is licensed and registered for operation on public and private highways, roads, and streets, and is powered either partially or exclusively on electrical energy from the grid or from an off-board source that is stored on-board via a battery for purposes of producing physical and mechanical motion. "Electric vehicle" includes:
(1)
A battery electric vehicle; and
(2)
A plug-in hybrid electric vehicle.
Electric vehicle charging station means a public or private parking space that is served by battery charging station equipment that has as its primary purpose the transfer of electric energy (by conductive or inductive means) to a battery or other energy storage device in an electric vehicle.
Electric vehicle charging station—private restricted use means an electric vehicle charging station that is:
(1)
Privately owned with restrictive access (e.g., single-family home, executive parking, designated employee parking); or
(2)
Publicly owned and restricted from public access (e.g., fleet parking with no access to the general public).
Electric vehicle charging station—public use means an electric vehicle charging station that is:
(1)
Publicly owned and publicly available (e.g., park and ride parking, public library parking lot, on-street parking); or
(2)
Privately owned and available to visitors for use (e.g., shopping center parking).
Electric vehicle infrastructure means wiring conduit/wiring, structures, machinery, and equipment necessary and integral to support an electric vehicle, including battery charging stations and rapid charging stations (e.g. Level 3).
Electric vehicle parking space means any designated parking space that identifies the use to be exclusively for the parking of an electric vehicle.
Non-electric vehicle means any motor vehicle that does not meet the definition of an electric vehicle.
Plug-in hybrid electric vehicle means an electric vehicle that:
(1)
Contains an internal combustion engine and also allows power to be delivered to drive wheels by an electric motor;
(2)
Charges its battery primarily by connecting to the grid or other off-board electrical source;
(3)
May additionally be able to sustain battery charge using an on-board internal combustion-driven generator; and
(4)
Has the ability to travel powered by electricity.
(c)
Compliance. It is unlawful to construct or install, or cause to be constructed or installed, any electric vehicle charging station upon any property within the city in violation of the requirements of this section. Any charging station installed prior to the adoption of this section shall be grandfathered until its replacement, provided it is in compliance with the electrical code.
(d)
Permit required. It shall be unlawful for any person to construct or erect an electric vehicle charging station upon any property within the city without obtaining a zoning permit from the City of Petoskey zoning administrator or other designated city official. The permit application shall be accompanied by a plot plan prepared by a licensed professional architect, engineer, landscape architect, professional community planner, or land surveyor showing the type, size, and proposed location of the electric vehicle charging station and payment of the permit fee established by resolution adopted by city council. The requirement for submission of an official plot plan is not required for properties zoned residential when the electric vehicle charging station is located inside a structure. If the electric vehicle charging station is located outside of the structure for properties zoned residential, a plot plan drawn to scale by the owner, occupant or interested party is required.
(e)
Permitted locations.
(1)
Level 1 and Level 2 electric vehicle charging stations are permitted in every zoning district, when accessory to the primary permitted use. Such stations located at single-family, multifamily, and mobile home park dwellings shall be designated as private restricted use only. Installation shall be subject to review by the zoning administrator. Permit and inspection approval process shall be administered by the Emmet County Building Department.
(2)
Level 3 electric vehicle charging stations are permitted in every zoning district except in any residential zone, or residential properties located in nonresidential zoning districts. Installation shall be subject to review by the zoning administrator. Permit and inspection approval process shall be administered by the Emmet County Building Department.
(3)
If the primary use of the parcel is the retail electric charging of vehicles, then the use shall be considered a gasoline service station (also known as vehicle fueling station) for zoning purposes. Installation shall be located in and subject to approval in zoning districts which permit gasoline service stations.
(f)
Development standards.
(1)
Parking.
a.
For a newly developed parcel, an electric vehicle charging station space shall be included in the calculation for the maximum required parking spaces required in accordance with section 1704. For an existing parcel, an approved existing parking space (except an ADA accessible space) may be converted to an electric vehicle parking space without being in violation of the requirements in section 1704.
b.
Public electric vehicle charging stations are reserved for parking and charging electric vehicles only. Electric vehicles may be parked in any space designated for public parking, subject to the restrictions that would apply to any other vehicle that would park in that space.
(2)
ADA accessible electric vehicle spaces. An ADA accessible electric vehicle charging station, if provided, shall be located in close proximity to the building or facility entrance.
(3)
Lighting. Lighting shall be provided where an electric vehicle charging station is installed, unless charging is for daytime purposes only or on residential zoned properties or residential properties located in non-residential zoning districts. Lighting shall not encroach upon abutting properties.
(4)
Equipment standards and protection.
a.
Battery charging station outlets and connector devices shall be no less than 36 inches above grade and no higher than 48 inches above grade where mounted. Equipment mounted on pedestals, lighting posts, bollards, or other devices shall be designed and located so as not to impede pedestrian travel or create trip hazards on sidewalks.
b.
Adequate battery charging station protection, such as concrete-filled steel bollards shall be used and shall be in accordance with section 312 of the International Fire Code (IFC). Curbing may be used in lieu of bollards if the battery charging station is set back a minimum of 24 inches from the face of the curb.
c.
Electric vehicle charging stations shall be installed not less than ten feet from any building or structure and have a means of emergency power disconnect (Knox Remote Power Box) in nonresidential structures.
d.
Electric vehicle charging systems shall be installed in accordance with NFPA 70. Electric vehicle charging systems equipment shall be listed and labeled in accordance with Underwriters Laboratory (U.L), 2022. Electric vehicle supply equipment shall be listed and labeled in accordance with U.L. 2594.
(5)
Usage fees. Commercially zoned or occupied properties are not restricted from collecting a service fee for the use of an electric vehicle charging station made available to employees or visitors of the property.
(6)
Signage.
a.
Design specifications for signage shall be obtained from the zoning administrator.
b.
Information shall be posted identifying voltage and amperage levels or safety information related to the electric vehicle charging station. Commercial use shall include hours of operation and fees.
c.
Each electric vehicle charging station space shall be posted with signage indicating the space is only for electric vehicle charging purposes.
(7)
Maintenance. Electric vehicle charging stations shall be maintained in all respects, including the functioning of the equipment. For all installations of EV charging stations, a phone number or other contact information shall be posted on the equipment for reporting non-functioning equipment, malfunctioning equipment, or other issues regarding the equipment.
(g)
Municipal civil infraction/penalties. Persons who violate a provision of this Code or fail to comply with any of the requirements thereof, shall be guilty of a municipal civil infraction and subject to the civil fines set forth in the schedule of civil fines in Ordinance No. 674 applicable to the City of Petoskey Zoning Ordinance, being the City of Petoskey's Municipal Civil Infraction Ordinance, as amended, [6] and shall be subject to any other relief that may be imposed by a court for such conduct, which shall also be considered a nuisance per se. Each act of violation and each day upon which such violation occurs shall constitute a separate violation.
(Ord. No. 796, 6-3-2024)
Editor's note— Ord. No. 796, adopted June 3, 2024, set out provisions intended for use as §§ 1719.0—1719.6. To preserve the style of this Code, and at the editor's discretion, these provisions have been included as § 1720.
Currently the fine for a first offense is $100.00; second offense $250.00; third offense $500.00.
GENERAL PROVISIONS
Whenever any provision of this ordinance imposes more stringent requirements, regulations, restrictions or limitations than are imposed or required by the provisions of any other law or ordinance, then the provisions of this ordinance shall govern. Whenever the provisions of any other law or ordinance impose more stringent requirements than are imposed or required by this ordinance, then the provisions of such ordinance shall govern.
State Law reference— Conflicts between zoning and other ordinances, MCL 125.3210.
No building or structure, or part thereof, shall hereafter be erected, constructed or altered and maintained, and no new use or change shall be made or maintained of any building, structure or land, or part thereof, except in conformity with the provisions of this ordinance.
1.
Intent. It is the intent of this ordinance to permit legal nonconforming lots, structures, or uses to continue until they are removed but not to encourage their survival.
It is recognized that there exists within the districts established by this ordinance and subsequent amendments, lots, structures, and uses of land and structures which were lawful before this ordinance was passed or amended which would be prohibited, regulated, or restricted under the terms of this ordinance or future amendments.
Such uses are declared by this ordinance to be incompatible with permitted uses in the districts involved. It is further the intent of this ordinance that nonconformities shall not be enlarged upon, expanded or extended, nor be used as grounds for adding other structures or uses prohibited elsewhere in the same district.
A nonconforming use of a structure, a nonconforming use of land, or a nonconforming use of a structure and land shall not be extended or enlarged after passage of this ordinance by attachment on a building or premises of additional signs intended to be seen from off the premises, or by addition of other uses of a nature which would not be permitted generally in the district involved.
If a building permit has been issued for a building prior to the passage of this ordinance, such building shall be permitted, even if nonconforming to the provisions of this ordinance, provided: (1) Construction is begun within 30 days after the effective date of this ordinance, (2) That construction is continuous until the building is completed, (3) That actual construction has been undertaken at the time of the effective date of this ordinance when the building permit was issued more than 60 days prior to the effective date of this ordinance.
2.
Nonconforming lots. In any district in which single-family dwellings are permitted, notwithstanding limitations imposed by other provisions of this ordinance, a single-family dwelling and customary accessory buildings may be erected on any single lot of record at the effective date of adoption or amendment of this ordinance. This provision shall apply even though such lot fails to meet the requirements for area or width, or both, that are generally applicable in the district; provided that yard dimensions and other requirements not involving area or width or both, of the lot shall conform to the regulations for the district in which such lot is located. Yard requirement variances may be obtained through approval of the board of appeals.
3.
Nonconforming uses of land. Where, at the effective date of adoption or amendment of this ordinance, lawful use of land exists that is made no longer permissible under the terms of this ordinance as enacted or amended such use may be continued, so long as it remains otherwise lawful, subject to the following provisions:
a.
No such nonconforming use shall be enlarged or increased, nor extended to occupy a greater area of land than was occupied at the effective date of adoption or amendment of this ordinance;
b.
No such nonconforming use shall be moved in whole or in part to any other portion of the lot or parcel occupied by such use at the effective date of adoption or amendment of this ordinance;
c.
If the use of any nonconforming structure or land is discontinued through abandonment, vacancy, lack of operation or as otherwise provided by law, for a continuous period of 365 days or more, then the use of such structure or land shall not be resumed until such use or structure strictly conforms to the regulations specified by this zoning ordinance for the district in which such building or land is located. A structure or use of land is deemed to be discontinued and abandoned if, in addition to the use ceasing for 365 days, any one or more of the following conditions exist:
(a)
Utilities, such as water, gas and electricity to the property have been disconnected;
(b)
The property, building or grounds have fallen into disrepair in a manner which result in a violation of applicable zoning and property maintenance codes or would otherwise give the appearance of neglect or abandonment;
(c)
Signs or other indications of the existence of the non-conforming use have been removed;
(d)
Equipment or fixtures necessary for the operation of the non-conforming use have been removed;
(e)
Other actions which, in the opinion of the city manager or zoning administrator, constitute an intention on the part of the property owner or lessee to abandon the non-conforming use or structure.
4.
Nonconforming structures. Where a lawful structure exists at the effective date of adoption or amendment of this ordinance that could not be built under the terms of this ordinance by reason of restrictions on area, lot coverage, height, yards, or other characteristics of the structure or its location on the lot, such structure may be continued so long as it remains otherwise lawful, subject to the following provisions:
a.
No such structure may be enlarged or altered in a way which increases its nonconformity. Such structures may be enlarged or altered in a way which does not increase its nonconformity.
b.
Should such structure be destroyed by any means to an extent of more than 60 percent of its replacement costs, exclusive of the foundation, it shall be reconstructed only in conformity with the provisions of this ordinance.
c.
Should such structure be moved for any reason for any distance whatever, it shall thereafter conform to the regulations for the district in which it is located after it is removed.
5.
Nonconforming uses of structures and land. If a lawful use of a structure, or a structure and land in combination, exists at the effective date of adoption or amendment of this ordinance, that would not be permitted in the district under the terms of this ordinance, the lawful use may be continued so long as it remains otherwise lawful, subject to the following provisions:
a.
No existing structure devoted to a use not permitted by this ordinance in the district in which it is located shall be enlarged, extended, constructed, reconstructed, moved or structurally altered except in changing the use of the structure to a use permitted in the district in which it is located.
b.
Any nonconforming use may be extended throughout any parts of a building which were manifestly arranged or designed for such use, and which existed at the time of adoption or amendment of this ordinance, but no such use shall be extended to occupy any land outside such building.
c.
If no structural alterations are made, any nonconforming use of a structure, or structure and land in combination, may be changed to another nonconforming use of the same or a more restricted classification provided that the board of appeals, either by general rule or by making findings in the specific case, shall find that the proposed use is equally appropriate or more appropriate to the district than the existing nonconforming use. In permitting such change, the board of appeals may require conditions and safeguards in accord with the purpose and intent of this ordinance. Where a nonconforming use of a structure, land, or structure and land in combination is hereafter changed to a more conforming use, it shall not thereafter be changed to a less conforming use.
d.
Any structure, or structure and land in combination, in or on which a nonconforming use is superseded by a permitted use, shall thereafter conform to the regulations for the district in which such structure is located, and the nonconforming use may not thereafter be resumed.
e.
Reserved.
f.
Where nonconforming use status applies to a structure and land in combination, removal or destruction of the structure shall eliminate the nonconforming status of the land.
6.
Repairs and maintenance. On any building devoted in whole or in part to any nonconforming use, work may be done in any period of 12 consecutive months on ordinary repairs, or on repair or replacement of nonbearing walls, fixtures, wiring or plumbing to an extent not exceeding 50 percent of the equalized value of the building, provided that the cubic content of the building as it existed at the time of passage or amendment of this ordinance shall not be increased. Nothing in this ordinance shall be deemed to prevent the strengthening or restoring to a safe condition of any building or part thereof declared to be unsafe by any official charged with protecting the public safety, upon order of such official.
7.
Uses under exception provisions not nonconforming uses. Any use for which a special exception is permitted as provided in this ordinance shall not be deemed a nonconforming use, but shall, without further action, be deemed a conforming use in such district.
8.
Change of tenancy or ownership. There may be a change of tenancy, ownership or management of any existing nonconforming uses of land, structures or land and structures in combination.
(Ord. No. 736, §§ 1, 2, 12-2-2013)
State Law reference— Nonconforming uses or structures, MCL 125.3208.
Accessory buildings, except as otherwise permitted in this ordinance, shall be subject to the following regulations:
1.
Where the accessory building is structurally attached to a main building, it shall be subject to and, must conform to, all regulations of this ordinance applicable to main building.
2.
Buildings accessory to residential buildings shall not be erected in any required yard, except a rear yard.
3.
Buildings accessory to residential buildings shall not occupy more than 25 percent of a required rear yard, provided further that no accessory building shall exceed the ground floor area of the main building.
4.
A single-story detached building not exceeding 14 feet in height, accessory to a residential building shall be located no closer than three feet from any side or rear lot line.
In those instances where the rear lot line is coterminous with an alley right-of-way, the accessory building shall not be closer than one foot to such rear lot line. In no instance shall an accessory building be located within a dedicated easement right-of-way.
5.
A detached accessory building in R-1 through R-3, RM-1, RM-2, O-S and P-1 Districts may have a maximum height of one and one-half stories and 16 feet, or the height of the principal structure, whichever is less.
A detached accessory structure greater than 14 feet in height shall have a setback of no less than five feet.
6.
When an accessory building is located on a corner lot, the side lot lien of which is substantially a continuation of the front lot line of the lot to its rear, said building shall not project beyond the front yard setback required on the lot in rear of such corner lot. In no instance shall an accessory building be located nearer than ten feet to a street right-of-way line.
7.
Accessory buildings in residential districts may only be used for storage, hobby or home business use as regulated by section 401(7).
8.
The parking of a trailer coach for periods exceeding 24 hours on lands not approved for trailer courts shall be expressly prohibited, except that the building inspector may extend temporary permits allowing the parking of a trailer coach in a rear yard on private property, not to exceed a period of two weeks. All trailer coaches owned by residents of the city and stored on their individual lots shall be stored only within the confines of the rear yard and shall further respect the requirements of this Section applicable to accessory buildings, insofar as distances from principal structures, lot lines, and easements are concerned. All trailer coaches parked or stored, shall not be connected to sanitary facilities and shall not be occupied.
(Ord. No. 751, § 4, 8-3-2015)
(a)
Intent. This section shall apply to all zoning districts as provided for herein. The purpose of this section is to make the city safe and accessible for drivers, pedestrians and cyclists in the design of all parking areas by promoting site designs that help to reduce conflicts, enhance the community and support a multi-modal transportation mix.
(b)
General provisions applying to all zoning districts.
(1)
No parking area, driveway, or off-street parking space shall be constructed, expanded or improved without a zoning permit. Normal maintenance, such as regrading of legal non-conforming gravel parking areas or the addition of top coat or sealer to existing paved parking areas, will not trigger full off-street parking compliance; however, pulverizing an existing asphalt, concrete or other paved parking surface, the outright removal or substantial modification of the paved surface in preparation for paving and demolition by neglect which serves to return a parking area substantially to gravel or other aggregate surface, shall, for the purposes of this section, be considered new parking.
(2)
New parking lot construction shall require a detailed site plan in accordance with section 1716 and planning commission approval. Driveways in single family zoning districts are exempt from this requirement.
(3)
Any expansion of an existing building shall require review of the adequacy of on-site parking.
(4)
Required off-street parking spaces shall not be replaced by any other use unless and until an equal number of parking spaces are provided elsewhere and are so provided in compliance with this section.
(5)
All parking areas and driveways shall be constructed with an approved hard surface: paved with asphalt, concrete or other similar materials, which shall extend as a continuous uninterrupted pavement from the garage, parking area or combination thereof to a street or alley. Driveway approaches shall be concrete and provide for a sidewalk profile. The parking area shall be surfaced within one year of the date the zoning permit is issued.
(6)
To minimize excessive areas of pavement that contribute to higher rates of storm water runoff, exceeding the parking space requirements of subsection 1704(h) in non-residential districts shall be prohibited.
(7)
Driveway curb cuts shall be placed at least 30 feet from an intersection measured from the radius sprint point as defined in section 1714.
(8)
Driveway curb cuts shall be no wider than 16 feet in one- and two-family districts and 24 feet in commercial districts.
(c)
Exception to general provisions. The area delineated as the Central Business Parking Exempt District is exempt from providing off-street parking, but if off-street parking and loading requirements are provided, the lot shall meet all applicable design standards of this Zoning Code. The Central Business Parking Exempt District is defined as the area bounded by Michigan Street on the south, Rose Street on the north, U.S. 31 and Emmet Street on the west, and on the east, it follows Woodland and Division Streets to a point 138 feet north of the Bay Street right-of-way to an east-west alley, thence west to the former railroad corridor now identified as the Downtown Greenway Corridor, thence northeast until it reaches the Rose Street right-of-way as illustrated below:
(d)
One- and two-family residential parking area and driveway requirements.
(1)
General requirements.
a.
In no case should more than 40 percent of a required front yard be a paved surface. Parking on non-paved surfaces is prohibited.
b.
A one-family dwelling is restricted to a single curb cut.
(e)
Multifamily parking area and driveway design requirements.
(1)
General requirements.
a.
Parking areas shall be located to the rear of the building or internal to the building to continue or establish a continuous facade wall along the street and/or to conceal the expanse of parking area.
b.
Bicycle parking shall be provided for any building with five or more units at a ratio of one space per two units. See subsection 1704(g)(2).
(f)
Commercial parking area and driveway design requirements.
(1)
General requirements.
a.
Parking areas shall not be located within a required front-yard setback or a street frontage side-yard setback on a corner lot.
b.
Parking areas shall have barriers such as concrete bumpers or curbs to prevent vehicles from extending over or into any public sidewalk, walkway, rights-of-way or landscape buffer areas. Parking areas shall include striping that delineates each individual parking space.
c.
The storage of merchandise, motor vehicles for sale, trucks, or the repair of vehicles is prohibited within a required off-street parking area.
d.
Parcels greater than 100 feet in width shall have curb cuts at least 60 feet from an intersection measured from the curb face.
e.
Curb cuts shall be aligned with driveways on the opposite side of the street or offset a minimum distance of 30 feet.
f.
Driveways on the same side of the street shall be separated by at least 30 feet, measured from the entrance radius spring point as illustrated in section 1714.
g.
Any new parking lot with at least ten vehicle parking spaces shall provide bicycle parking for a minimum of one bicycle and one additional bicycle parking space per 15 vehicle parking spaces. See subsection 1704(g)(2).
(2)
Use of on-street parking to meet parking requirements.
a.
Upon planning commission review and approval, on-street parking may be used for up to 20 percent of parking space requirements, not exceeding six spaces, provided that:
1.
The on-street spaces are within 300 feet walking distance from the main entrance of the subject building;
2.
An on-street parking space shall not be counted unless its entire area falls within said 300-foot walking distance; and
3.
An on-street parking space shall not be counted if it is restricted in its use as a designated loading zone or if parking is prohibited for more than five hours in any 24-hour period.
(3)
Shared parking agreements. Where a mix of land uses creates staggered peak periods of parking demand, shared parking agreements that have the effect of reducing the total amount of required parking spaces are encouraged. Shared parking agreements for off-street parking for two or more buildings or uses is permitted subject to the following:
a.
The total number of required parking spaces for each use on each lot shall not be reduced by more than 25 percent.
b.
Shared parking areas shall be located within 300 feet of the use, measured from the nearest point of the building to the nearest point of the off-street parking area or space.
c.
If lots are adjacent, they shall be interconnected for vehicular passage.
d.
Written agreements that provide for continued use and maintenance of shared parking shall be submitted at the time of site plan or zoning permit approval. All agreements shall include provisions to address changes in use.
e.
Shared parking agreements or leases shall remain in full force and effect binding on both parties. In the event the shared parking agreement or lease is terminated by either party, or is not being enforced or complied with, full parking requirements must be met.
(g)
Dimensional requirements for parking lots.
(1)
Vehicle parking.
a.
All parking lot spaces shall be provided adequate access by means of maneuvering lanes; access directly onto a street or public right-of-way shall be prohibited.
b.
Maneuvering lanes for 90° parking patterns shall accommodate two-way traffic.
c.
Parking spaces and maneuvering lanes shall be provided in accordance with the requirements below.
d.
A driveway that is not a property-line shared driveway shall be a minimum of five feet from the property line.
PARKING LOT DIMENSIONAL REQUIREMENTS
(2)
Bicycle parking.
a.
A bicycle parking space is an area provided for bike parking with a dedicated bicycle rack; the size or number of racks is dependent on the number of bicycle parking spaces required.
b.
Bicycle rack requirements.
1.
The bicycle rack must be within 50 feet of the main building entrance or inside a building in a location that is easily accessible by bicyclists;
2.
The bicycle frame and one wheel can be locked to the rack with a high security, U-shaped shackle lock if both wheels are left on the bicycle;
3.
A bicycle six feet long can be securely held with its frame supported so that the bicycle cannot be pushed or fall in a manner that will damage the wheels or components;
4.
The rack must be securely anchored when necessary; and
5.
Each required bicycle parking space must be accessible without moving another bicycle and there must be an aisle at least five feet wide behind all required bicycle parking to allow room for bicycle maneuvering.
(3)
Landscaping.
a.
Parking area landscaping requirements as established in section 1709 shall be followed.
(h)
Required number of parking spaces by use.
(Ord. No. 756, § 1, 10-3-2016; Ord. No. 759, § 7, 2-19-2018; Ord. No. 777, § 1, 5-18-2020)
Editor's note— Ord. No. 756, § 1, adopted Oct. 3, 2016, repealed the former § 1704, and enacted a new § 1704 as set out herein. The former § 1704 pertained to off-street parking requirements and derived from Ord. No. 597, § 1, adopted Mar. 16, 1987; and Ord. No. 632, § 7, adopted Oct. 21, 1991.
Cross reference— Parking, stopping and standing, ch. 21, art. III.
Editor's note— Ord. No. 756, § 2, adopted Oct. 3, 2016, repealed § 1705, which pertained to off-street parking space layout, standards, construction and maintenance, and derived from Ord. No. 632, § 8, adopted Oct. 21, 1991; and Ord. No. 669, § 1, adopted July 19, 1999.
(a)
Loading spaces shall be provided on the same property as any nonresidential use involving the receipt or distribution of materials or merchandise, except within the Central Business District where alleys may be used for loading.
(b)
Loading spaces shall be provided adequate access by means of maneuvering lanes; access directly onto a street or public right-of-way shall be prohibited.
(c)
Loading spaces shall be located within the rear yard or side yard in any zoning district other than the industrial districts (11 and 12). Landscaping and buffering, in addition to that required by section 1709, shall be provided to fully screen loading spaces from public view when located in an interior side yard, unless the planning commission determines such screening is not needed based on existing land uses, site features or topography.
(d)
Loading spaces shall be at least ten feet in width, 25 feet in length, and have height clearance of 14 feet.
(e)
Loading spaces shall be located so loading and unloading activities do not interfere with pedestrian or private motor vehicle movement.
(Ord. No. 756, § 3, 10-3-2016)
Editor's note— Ord. No. 756, § 3, adopted Oct. 3, 2016, repealed the former § 1706 and enacted a new § 1706 as set out herein. The former § 1706 pertained to off-street loading and unloading and derived from the original Code.
Because the uses hereinafter referred to possess unique characteristics making it impractical to include them in a specific use district classification, they may be permitted by the board of appeals under the conditions specified, and after public hearing, and after a recommendation has been received from the planning commission. In every case, the uses hereinafter referred to shall be specifically prohibited from any residential districts.
These uses require special consideration since they service an area larger than the city and require sizable land areas, creating problems of control with reference to abutting use districts. Reference to those uses falling specifically within the intent of this section is as follows:
1.
Commercial television and radio towers and public utility microwaves, and public utility T.V. transmitting towers. Radio and television towers, public utility microwaves and public utility t.v. transmitting towers, and their attendant facilities shall be permitted in I-1 and I-2 districts provided said use shall be located centrally on a zoning lot on which the distance from the base of the tower to all points of each property is not less than the height of the tower.
2.
Mobile homes and trailer courts. Mobile home courts may be permitted in the B-3 districts, or as a transition use in "I" districts provided the following conditions are satisfied:
a.
Trailer courts for the parking of two or more trailers shall be developed pursuant to the requirements of Act 243 of the Public Acts of the State of Michigan, 1959, as amended [MCL § 125.-1001 et seq.].
b.
No land shall hereafter be utilized for the erection, construction, operation and/or maintenance of a residential mobile home or trailer coach park as defined by the laws of the State of Michigan, except upon application for a permit from the city signed by the person, firm or corporation seeking the permit and by the owner and legal title holder of the property sought to be used for such purposes.
c.
The land parcel being proposed for trailer courts shall be of such land areas as to provide for a minimum of at least 20 trailer coach sites.
d.
Trailer coach sites shall contain a minimum area of at least 4,000 square feet. All such trailer site areas shall be computed exclusive of service drives, facilities and recreation space.
e.
All trailer courts shall have access to major or secondary thoroughfares within the city by directly abutting thereon. Frontage on said thoroughfare shall be equal to at least 200 feet in width.
f.
A wall, or obscuring fence four feet and six inches in height shall be provided on all sides of the trailer court, with the exception of that portion providing ingress and egress to the site.
g.
Fences when provided around trailer lots shall be uniform in height and shall not exceed 30 inches in height and shall be constructed in such a manner as to provide firemen access to all sides of each trailer.
h.
Recreation space and landscaping as follows:
1.
There shall be provided an area of not less than 100 square feet for recreation, for each trailer space in the trailer park, with a minimum area of not less than 5,000 square feet, which shall be no longer than two times its width. Such area shall be developed and maintained by the management so as to provide healthful recreation for the children housed in the mobile home park.
2.
The front yard and the side yard adjacent to a street shall be landscaped and the entire trailer park shall be maintained in a clean, presentable condition at all times.
i.
The sum of the side yards at the entry side of and non-entry side of a mobile home stand shall be not less than 20 feet; provided however, there shall be a side yard of not less than 15 feet at the entry side of the mobile home stand and a side yard of not less than five feet at the non-entry side of the mobile home stand. There shall be a rear yard of not less than five feet at the rear end of the stand and a front yard of not less than ten feet at the front end of the mobile home stand. For irregularly shaped side yards, the sum is determined as the sum of the average width of each side yard, provided that the required minimums above are maintained at all points in the side yard.
j.
No mobile home shall be located closer than 50 feet to the right-of-way line of a major thoroughfare, or 20 feet to any mobile home park property line.
1.
For those districts and uses listed below there shall be provided and maintained an obscuring wall as required by the conditions, heights, and locations noted: (See Table in Fig. 13)
_____
FIG. 13
_____
2.
Obscuring walls shall not be required when any building, parking or storage area within any district requiring a wall, or any use requiring a wall, when such buildings, parking or storage areas are located more than 200 feet from an abutting residential district.
3.
Required walls shall be located on the lot line except where underground utilities interfere and except in instances where this ordinance requires conformance with front yard setback lines in abutting residential districts. Upon review of the site plan, the planning commission may approve an alternate location for the wall or may waive the wall requirement if in specific cases it would not serve the purposes of screening the parking area effectively. Required walls may, upon approval of the board of appeals, be located on the opposite side of an alley right-of-way from a nonresidential zone that abuts a residential zone when mutually agreeable to affected property owners. The continuity of the required wall on a given block will be a major consideration of the board of appeals in reviewing such request.
4.
Walls shall be of masonry construction. Decorative openings in the wall may be permitted provided they do not exceed 20 percent of the surface. Where walls are so pierced, the openings shall be spaced as to maintain the obscuring character required and shall be reviewed and approved by the building inspector.
5.
Where an obscuring wall is required, a landscaped earthmound may be permitted in lieu of such wall, provided that the height of the earthmound not be less than the required height of the obscuring wall.
6.
The board of appeals may waive or modify for foregoing requirements where cause can be shown that no good purpose would be served, provided that in no instance shall a required wall be permitted to be less than four feet six inches in height except where section 1714 applies.
In consideration of request to waive wall requirements between nonresidential and residential districts, the board shall refer the request to the planning commission for a determination as to whether or not the residential district is considered to be an area in transition and will become nonresidential in the future.
In such cases as the planning commission determines the residential district to be a future nonresidential area, the board may temporarily waive wall requirements for an initial period not to exceed 12 months. Granting of subsequent waivers shall be permitted, provided that the planning commission shall make a determination as hereinbefore described, for each subsequent waiver prior to the granting of such waiver by the board.
Whenever in this ordinance a greenbelt or planting is required, it shall be planted within six months from the date of issuance of a certificate of occupancy and shall thereafter be reasonably maintained with permanent plant materials to provide a screen to abutting properties. Suitable materials equal in characteristics to the plant materials listed with the spacing as required shall be provided. (See Table in Fig. 14)
_____
SUGGESTED PLANT MATERIALS
FIG. 14
_____
1.
Plant material spacing.
a.
Plant materials shall not be placed closer than four feet from the fence line or property line.
b.
Where plant materials are placed in two or more rows, plantings shall be staggered in rows.
c.
Evergreen trees shall be planted not more than 30 feet on centers.
d.
Narrow evergreens shall be planted not more than six feet on centers.
e.
Tree-like shrubs shall be planted not more than ten feet on centers.
f.
Large deciduous shrubs shall be planted not more than four feet on centers.
g.
Large deciduous trees shall be planted not more than 30 feet on centers.
2.
Trees not permitted.
a.
Box elder.
b.
Soft maples.
c.
Elms.
d.
Poplars.
e.
Ailanthus (tree of heaven).
Signs shall be regulated as provided in Ordinance No. 550 (Appendix C of this Code).
(Ord. No. 550, § 12, 2-7-1983)
1.
All outdoor lighting in all use districts used to light the general area of a specific site shall be shielded to reduce glare and shall be so arranged as to reflect lights away from all adjacent residential districts or adjacent residences.
2.
All outdoor lighting in all use districts shall be directed toward and confined to the ground areas of lawns or parking lots.
3.
All lighting in nonresidential districts used for the external illumination of buildings, so as to feature said buildings, shall be placed and shielded so as not to interfere with the vision of persons on adjacent highways or adjacent property.
4.
All illumination of any outdoor feature shall not be of a flashing, moving or intermittent type. Artificial light shall be maintained stationary and constant in intensity and color at all times when in use.
All fences shall require a zoning compliance permit issued by the zoning administrator and shall comply with the following regulations and requirements.
(1)
Location (see Figure 1712).
a.
Corner-front yard. Only decorative and living fences are allowed within a corner-front yard with a minimum setback of two feet from the street-fronting property line.
b.
Side and rear yards. Fences may be placed up to a lot line in side and rear yards.
c.
Fences shall be located so as to not obstruct corner clearance or vision of motorists exiting driveways.
d.
No fence shall be placed within the city right-of-way and if so placed shall be removed at the owner's expense.
e.
Underground electric fences shall be set a minimum of five feet from a front or corner-front property line.
(2)
Height and design restrictions.
a.
Side and rear-yard fences shall not exceed six feet in height and shall not extend beyond the principal structure into a front yard.
b.
Corner-front yard decorative fences shall not exceed three and one-half feet (42 inches) in height and shall not obstruct vision to an extent greater than 50 percent of total area.
c.
Chain link fences are only allowed in rear and side yards.
d.
Living fences shall not exceed three feet in height in a corner-front yard, shall be placed so that growth is kept at least two feet from the property line, and shall not contain invasive species.
e.
Fences that enclose public or institutional parks, playgrounds, or public landscaped areas, situated within an area developed with recorded lots shall not exceed eight feet in height, measured from the surface of the ground.
f.
Fences may be placed on retaining walls, berms or similar features with the fence height to be measured from the established grade.
g.
All fences shall have the finished side facing the adjacent property or public right-of-way.
(3)
Maintenance of nuisances. Fences shall be maintained so as not to endanger life or property. Any fence which, through lack of repair, type of construction, or otherwise, endangers life or property is hereby deemed a nuisance per chapter 13 of this Code.
(Ord. No. 708, § 1, 6-1-2009; Ord. No. 770, 5-20-2019)
_____
In all residential districts, so called entranceway structures including, but not limited to: walls, columns, and gates marking entrances to single family subdivisions or multiple housing projects may be permitted and may be located in a required yard, except as provided in sec. 1714 Corner Clearance, provided that such entranceway structures shall comply to all codes of the City of Petoskey, and shall be approved by the building department and a permit issued.
Any vision obstruction to vehicular traffic, including fences, walls, shrubbery, hedges, trees or signs above a height of two feet from the street midpoint height are not permitted within the vision triangle. The vision triangle is the area at an intersection formed by extending a straight line 20 feet along the back of each curb from its radius spring point and connecting these two points (see section 1714, Figure A). Obstructions not in conformity with this ordinance identified by city staff to negatively impact public safety shall be removed at the property owner's expense.
SECTION 1714
FIGURE A
(PL = Property Line)
(Ord. No. 708, § 2, 6-1-2009)
Cross reference— Traffic and motor vehicles, ch. 21.
No lot shall be used for any purpose permitted by this ordinance unless said lot abuts a public street, unless otherwise provided for in this ordinance.
1.
[Requirements.] A site plan review is required for:
a.
Any use or development for which the submission of a site plan is required by any provision of this ordinance.
b.
Any development, except single-family and two-family residential, for which off-street parking areas are provided as required in section 1704, Off-street parking requirements.
c.
Any use in an RM-1, RM-2, OS-1, B-1, B-2, B-3, B-3a, I-1 or I-2 district lying contiguous to, or across a street from, a single-family residential district.
d.
Any use except single or two-family residential which lies contiguous to major thoroughfare or collector street.
e.
All residentially-related uses permitted in single-family district such as, but not limited to, churches, schools, and public facilities.
f.
Building additions or accessory buildings shall not require planning commission review unless off-street parking in addition to that already provided on the site is required.
g.
Multiple-detached, single-family dwelling units on a single parcel shall require site plan review unless a plan is submitted showing that the dwelling units, accessory structures and parking areas are located such that the parcel could be divided in the future into conforming lots (based upon lot width, lot area and location of structures) in the zoning district in which the property is located.
In review of a site plan for multiple-detached units on one lot, the planning commission may consider setbacks and other zoning ordinance standards applicable to single-family dwelling units in the zoning district which overlays the site.
2.
Site plan review package. A complete site plan review package shall include all of the items listed below and shall be submitted and reviewed in accordance with the planning commission bylaws. The city reserves the right to reject incomplete site plan review packages.
a.
Fee: The petitioner, for a site plan review, shall pay the required fee to the city.
b.
Application form: A signed and completed application form shall be included.
c.
Professional drawing(s): All site plans shall be prepared by a registered professional architect, engineer, landscape architect or surveyor who shall then provide at least one copy of the drawing(s) embossed with his or her professional seal.
d.
Number of drawings: 15 copies of the site plan drawing shall be submitted to the city.
e.
Information on drawings:
(1)
Legend:
(a)
Project title.
(b)
Name and address of person preparing the plan.
(c)
North arrow.
(d)
Scale (not less than one inch equals 50 feet for less than three acres, or one inch equals 100 feet if three acres or more).
(e)
Date of drawing and any revisions.
(f)
Street address location of project.
(2)
Site data:
(a)
Site size in lot width and depth.
(b)
Property use, present and proposed.
(c)
Setbacks (ordinance requirements/proposed).
(d)
Building heights (ordinance requirements/proposed).
(e)
Lot area (ordinance requirements/proposed).
(f)
Total building area and usable floor area of commercial buildings.
(g)
Off-street parking (ordinance requirements/proposed).
(h)
Barrier-free parking (ordinance requirements/proposed).
(i)
Number of dwelling units (ordinance requirements/proposed).
(j)
Present lot coverage (ordinance requirements/proposed).
(k)
Screening (ordinance requirements/proposed).
(3)
Graphic illustration: The following items shall be included in a complete site plan drawing. The petitioner may want to show existing features on a separate drawing from proposed improvements for better illustration.
(a)
Freestanding and directional signs shall be labeled with setback, height, and relative location measurements provided, and with elevation drawings, unless proposed for separate review.
(b)
Hydrants: For large sites such as apartment complexes, subdivisions, or shopping centers, existing and proposed hydrants shall be shown.
(c)
Ingress/egress for the site shall be shown with the location, throat width, radii and depth of all driveway dimensions labeled, including the distance to other driveways or intersections shown within 100 feet of the site. Include any driveways across the street.
(d)
Landscaping, fencing, berms, walls, lawns or greenbelt as existing and as proposed shall be shown on the drawing. Existing trees or shrubs shall be labeled and identified as to species, typical or significant size, and whether they are to be saved or removed. Proposed landscape materials should be labeled as to species, size and quantity. Fences or walls should be identified by type and material. Berms should be illustrated as to width, height and slope.
(e)
Lighting fixtures that are freestanding or attached to a building shall be shown and shall be labeled as to type and height of fixture for parking areas, walkways, buildings, exteriors, etc.
(f)
Loading zones, truck docks and similar facilities should be labeled with exterior dimensions provided.
(g)
Natural features such as unique or constraining soils, creeks, ponds, drainage courses, wetlands, floodplains, etc., shall be shown.
(h)
Parking lots and layouts shall show existing and proposed access, aisles, fire lanes, location of parking spaces, location of handicapped spaces and shall provide labeling of dimensions of such elements. All pavement markings shall be shown as proposed and type of parking lot surface identified. Snow storage areas, if applicable, shall be identified for parking lots.
(i)
Principal and accessory buildings and structures shall be shown with perimeter dimensions, and with identification of building entrances/exits.
(j)
Sidewalks shall be shown at street frontage locations and near buildings, with any barrier-free access ramps labeled.
(k)
Site location and surroundings shall be shown by illustrating all buildings within 100 feet of the site.
(l)
Site plan compliance certificate: A certificate for [of] occupancy shall not be issued for a building approved as part of a site plan review until a final inspection has been conducted by city staff to determine if the site improvements comply with all requirements of the approved site plan. The city would then issue a site plan compliance certificate for the property. The city may issue a temporary occupancy certificate for approved projects where conditions require a delay in site improvements, only where a performance bond (cash, certificate of deposit, bank letter of credit) is provided, in an amount equal to 100 percent of the value of the site improvements as estimated by a registered engineer, architect or landscape architect or by a licensed contractor. Only upon completion of site improvements and upon obtaining a site plan compliance certificate will the performance bond be returned to the applicant. A site plan compliance certificate will not be issued until as-built drawings, reflecting any changes for site improvements, including utilities, are submitted and approved.
(m)
Soil erosion control plan: Plans for soil erosion control shall be submitted in accordance with provisions of Michigan Public Act 347.
(n)
Stormwater drainage shall be shown on-site and at adjacent streets, including existing and proposed catchbasins, proposed direction of surface drainage flow on impervious surfaces, and proposed connections to street stormwater drains. If stormwater retention areas are to be established, they shall be identified and illustrated as to outside limits, elevations of the bottom and top of the retention area, capacity, and the percent grade of all slopes.
(o)
Streets adjacent to the site shall be labeled, with identification of right-of-way width, pavement width, and shall show size and location of any underground stormwater sewer.
(p)
Topography, such as existing steep embankments or abrupt grade changes that present physical limitations or special considerations for site layout, shall be shown with an estimate of the percent grade or difference in elevation from top to bottom of such a feature. Proposed grade and elevation changes on the site shall be shown. If a retaining wall is to be used, the height of the structure and proposed material to be used should be labeled or illustrated.
(q)
Trash dumpsters (if any) shall be shown with illustration of proposed structure and materials to be used for screening. For large sites such as shopping centers, institutional campuses, etc., site trash receptacles should be shown.
(r)
Utilities, existing and proposed, including water and electric service lines, shall be shown for new developments and labeled as to capacity, location, etc.
3.
Standard performance requirements for site plan elements. Specific standards for accessory buildings, off-street parking, off-street loading and unloading, roads and streets, walls, plant materials, exterior lighting, fences and hedges, residential entranceways and corner clearance shall be found in sections 1703 through 1714 of this ordinance and in the Petoskey Subdivision Regulations, Appendix B of the Petoskey Code of Ordinances. In addition, the following standards shall apply:
a.
Buildings and accessory structures. The city will review building locations with consideration of on-site and off-site conditions. In particular, building and structure locations will be examined with consideration for:
(1)
Best on-site circulation and ingress/egress for pedestrians and vehicles.
(2)
Proximity of buildings on adjacent sites, particularly with regard to doorways, windows, docks or loading areas of on-site or off-site structures.
(3)
Accessibility of building and its entrances for emergency vehicles and equipment.
(4)
Visual image of the building(s) and its facades as presented from the street view. Screening of rooftop mechanical units, vents, or other equipment shall be incorporated into architectural plans.
(5)
Proximity to residential building(s) or site(s).
(6)
Location relative to street(s), alley(s), etc., and impact upon clear vision areas.
(7)
Necessity for screening of accessory equipment or ground structures will be examined.
(8)
Location of accessory structures in appropriate yard areas as designated in section 1703 of this ordinance.
b.
Ingress/egress. Curb cut locations for ingress and egress shall be subject to final review and approval of the city and shall meet standards provided in particular sections of this zoning ordinance, as well as engineering requirements of the department of public works. Curb cuts on a state highway must also meet Michigan Department of Transportation standards and approval. In addition, site plans should be prepared with consideration of the following principles:
(1)
The number of curb cuts for a site should be held to a minimum, and consolidation of curb cuts will be encouraged by the planning commission. The city may require such consolidation as necessary, but may also permit a somewhat larger than standard curb cut width, if needed, when driveways are consolidated.
(2)
Where a corner parcel fronts on a state highway or major city street and also has frontage on a side street, curb cuts may particularly be restricted on the highway or major street as to number of cuts, size of cuts, direction of turning movements, etc.
(3)
The city may also restrict any curb cut as to ingress only or egress only movements, or may eliminate or restrict turning movements at a particular curb cut as deemed necessary.
(4)
Curb cuts on a corner parcel should be located as far from any street intersection as feasible. In addition, the city will consider the relative location of curb cuts at adjacent parcels to provide adequate separation of turning movements. In the case of parcels directly opposite a site plan parcel, curb cut locations will be considered to provide an alignment that reduces conflicting turning movements at opposing curb cuts and at nearby street intersections.
c.
Landscaping/screening/buffering. The city will review landscaping of sites with consideration of the following:
(1)
Landscaping such as trees and shrubs should be used to screen residential areas from light, sound or visual impacts of a commercial or industrial use, or to screen particular on-site elements such as trash storage, utility structures, accessory buildings, parking lots or other such elements. Screening elements should not adversely impact clear vision areas within the site or on ingress/egress points for the site.
(2)
Provision of adequate lawns, trees and shrubs to offer a pleasant site and setting where green lawns and greenbelts offer health, safety and aesthetic benefits, such as cooling of hard surfaces, shading from sun, shelter from wind, open area for recreation or rest by residents or employees, vegetation to soften an urban environment, lawns or plant beds to absorb stormwater drainage and stabilize soils, and varied landscape materials to provide visual relief and interest. Trees included in a landscape plan shall be a minimum of two and one-half inch caliper.
(3)
Berms shall not exceed a 1:3 slope and shall be planted with natural vegetative cover.
(4)
The city may require revision of a site plan to provide the best landscape, greenbelt or open space plan and to incorporate the minimum amount of impervious surface in a site. Landscape materials planted shall meet requirements of section 1709 of this ordinance.
d.
Lighting. Lighting fixtures are to be of the cutoff variety, no greater than 20 feet in height and with down-lighting to be directed on site only. The planning commission may only permit taller or require shorter fixtures where the commission determines that unique conditions exist and where a waiver would reduce the number or size of light fixtures; not adversely impact neighboring properties; and permit fixtures in proportion to height and bulk of nearby buildings and other fixtures. Site lighting shall not exceed 20 footcandles as measured six feet above the ground surface, directly under the fixture.
e.
Natural and historic features. The site plan shall be designed in order to protect and enhance natural and historic features wherever feasible. Plans should be designed to minimize alteration of existing topography on the site and to reduce or eliminate disturbance of natural or historic features.
f.
Parking. Barrier-free spaces shall be provided per Michigan Building Code and located nearest the main entrance or the approach to a ramped entry.
Parking plans that use right angle or parallel parking are preferred. Internal circulation roads that provide access to parking lots should only have parallel parking spaces, if any. Where angle parking is proposed, one-way drives should be provided.
Parking spaces should be set back from entrance drives to avoid conflict between traffic entering a site and vehicles exiting parking spaces. The city may revise a plan as needed to provide the safest, most efficient circulation system possible.
g.
Sidewalks. Site plans should show where sidewalks are to be provided or restored. Pedestrian traffic should be separated from vehicular traffic where possible. Sidewalks should be located so as to provide safe access to building entrances, and to provide safe crossing at driveways, intersections or parking areas. Sidewalks shall meet standards and specifications of the city Code, section [chapter] 18.
h.
Signage. Any freestanding signs or directional signs may be shown on a site plan. The city will review the sign location in accordance with provisions of the city sign ordinance, Appendix C of the city Code of Ordinances.
i.
Stormwater drainage. The city will review and approve stormwater drainage for all site plans. Plans may also require approval of the Michigan Department of Transportation where stormwater drainage facilities owned by the state are proposed for use.
All runoff generated from site improvements should be retained on site. Stormwater drainage plans shall be designed to detain stormwater from buildings, parking lots and other impervious surfaces on site. Stormwater drainage facilities shall be designed for a 50-year storm event performance standard.
Where sites have adequate open space or lawn area, stormwater retention should be used to minimize the impact upon existing drainage facilities and to allow for on-site filtration and settling. Retention basin slopes shall not exceed 1:3.
Where drainage is directed to a street, underground connection via catch basins may be required to minimize surface "sheeting" of drainage across streets, sidewalks or other access areas.
Where there is no available retention area or there is limited stormwater drainage capacity in adjacent storm sewers, plans may utilize a portion of the parking lot on a site for storage of stormwater during peak storm conditions. The site plan drawing shall show the location and perimeter of the area in the lot impacted by stormwater under storm event conditions. Such retention should be removed from high pedestrian or vehicular traffic areas.
All plans should address seasonal requirements for either on-site snow storage or complete removal of plowed snow.
j.
Trash storage. Trash dumpsters shall be screened with a wood privacy-type fence or other solid visual barrier at height equal to or greater than the height of the trash receptacle.
Outdoor trash storage shall be located in a side or rear yard and shall be at least ten feet from any building for fire safety purposes.
If outdoor storage is added to a property after site plan review approval, it shall be provided with screening and shall meet other standards as required in this section and subject to city approval.
k.
Utilities. Location of buildings, structures and other surface features will be reviewed with consideration for access, emergency and otherwise, to public utility facilities on site or nearby.
Utilities shall be provided in compliance with standard specifications and requirements of the department of public works of the city.
Fire hydrants shall be set back from adjacent curbs and roads so as to avoid burial by snowplowing.
4.
General requirements for site plan review. The city will review all site plans with consideration of those elements identified in sections 1703 through 1714, and in section 1716, subsection 3. In addition, any other existing or proposed site plan features impacting the health, safety or welfare of the community shall be considered during the site plan review process. Where the city determines that there may be a negative impact upon the health, safety or welfare of the community, such features may be rejected or alteration of the plan required. The site plans will be considered in the context of the overall community, the properties and features in proximity to the site, and the existing and proposed features within the site.
(Ord. No. 601, § 6-15-1987; Ord. No. 632, § 9, 10-21-1991; Ord. No. 669, § 2, 7-19-1999)
State Law reference— Site plan review, MCL 125.3501.
In review of uses identified in this ordinance as "uses permitted subject to special conditions," the planning commission shall consider the following general standards in addition to any specific standards cited in the ordinance:
a.
The special land use type shall be located on a site of adequate size and appropriate location to make it feasible for that particular use to be compatible with surrounding land uses.
b.
The special land use shall be designed and located in order to protect, accommodate and enhance natural or manmade features of the site such as topography, vegetation, soils, water features, historic structures and scenic views.
c.
The special land use shall be located on a site that can accommodate on-site traffic circulation and vehicle storage needs for the particular use. The use shall not be located on a site or arranged in a manner that would create a significant traffic or pedestrian hazard on adjacent roads or walkways.
d.
The special land use and its accessory uses and structures shall be located and arranged on the site in a manner allowing for adequate buffering and screening to protect adjacent uses and properties where needed.
e.
The scale, bulk, elevation, exterior materials and color of the buildings in the special land use shall be designed to blend with the character of the surrounding land uses and neighborhood. Where the bulk, scale or elevation of such buildings varies greatly from the surrounding structures, greater setbacks may be required.
f.
The special land use shall not be located where, due to use of particular equipment, or import, storage or production of certain materials, or emission of waste products, it would be a significant hazard to adjacent properties.
(Ord. No. 529, § 1, 8-4-1980; Ord. No. 636, § 2, 5-18-1992)
State Law reference— Special land uses, MCL 125.3202.
1.
Notification. The planning commission shall make no decision regarding a special condition use until public notice has been given and a public hearing held in accordance with the following provisions:
a.
Notice shall be provided in the local newspaper.
b.
Notice shall be provided by direct mailing to all property owners and building occupants within 300 feet of the property being considered for the proposed use. In the case of multifamily dwelling units, notification may be provided to the manager of said units for distribution.
c.
Such notice shall be given no less than five and no more than 15 days in advance of the meeting in which the request will be considered.
d.
The notice shall contain information as to the nature of the request and a property description of the parcel or parcels for which the use is requested. The notice shall also indicate the time and place where the request will be considered and shall furnish an address and state a deadline for submission of written comment.
2.
Survey and plans. The applicant shall furnish such surveys, plans or other information as may be reasonably required by said commission for the proper evaluation and consideration of the matter. Where site plan review is also required, the applicant may submit the site plan in conjunction with the special condition use request.
(Ord. No. 544, § 1, 6-7-1982)
State Law reference— Special land uses, MCL 125.3202.
(a)
For those zoning districts where short-term rentals are a principal permitted use, short-term rentals shall be located above the first story of the principal building.
(b)
Properties situated in any district in which short-term rentals are not a principal permitted use are not eligible to receive STR licenses. However, those properties that were properly licensed and operating as a short-term rental prior to December 18, 2023 permitted to continue operating as a short-term rental despite being in a district in which short-term rentals are not a principal permitted use, provided those properties comply with the requirements of this section. The properties "grandfathered" are on file in the city clerk's office. Upon transfer, licensure lapse or revocation of any licensed "grandfathered" property, the licensee shall be deemed to have elected not to renew his or her STR license and to have intended to abandon the license, at which point the property is no longer a "grandfathered" property and no longer available for short term rental licensing.
(c)
Short-term rentals are required to meet all other provisions of chapter 15 of the Petoskey Code of Ordinances, State of Michigan Building Code, International Property Maintenance Code and International Fire Code.
(d)
A short-term rental shall be required to provide one off-street parking space for an efficiency or one-bedroom dwelling unit, two off-street parking spaces for two bedrooms or more and shall meet the provisions of section 1704, off-street parking and driveway curb-cut standards, with the exception of the B-2 (CBD) district where off-street parking is exempt.
(Ord. No. 794, § 3, 12-4-2023; Ord. No. 798, § 3, 1-20-2025)
(a)
[Intent.] The intent of this section is to facilitate and encourage the use of electric vehicles and to expedite the establishment of convenient, cost-effective electrical vehicle infrastructure that such use necessitates.
(b)
General definitions. For purposes of this section, unless otherwise expressly stated, the following words and phrases shall be defined as follows:
ADA accessible electric vehicle charging station means an electric vehicle charging station where the battery charging station is adjacent to an ADA access aisle and electric vehicle parking space.
Battery charging station means an electrical component assembly or cluster of component assemblies designed specifically to charge batteries within electric vehicles.
Battery electric vehicle means any vehicle that operates exclusively on electrical energy from an off-board source that is stored in the vehicle's battery, and produces zero emissions or pollution when stationary or operating.
Charging means an electric vehicle is parked at an electric vehicle charging station and is connected to the battery charging station equipment.
Charging levels means the standardized indicators of electrical force, or voltage, at which an electric vehicle's battery is recharged. The terms 1, 2 and 3 are the most common charging levels, and include the following specifications:
(1)
Level 1 is considered slow charging. Voltage includes the range from zero through 120.
(2)
Level 2 is considered medium charging. Voltage is greater than 120 and includes voltage up to and including 240.
(3)
Level 3 is considered fast or rapid charging. Voltage is greater than 240.
Electric vehicle means any vehicle that is licensed and registered for operation on public and private highways, roads, and streets, and is powered either partially or exclusively on electrical energy from the grid or from an off-board source that is stored on-board via a battery for purposes of producing physical and mechanical motion. "Electric vehicle" includes:
(1)
A battery electric vehicle; and
(2)
A plug-in hybrid electric vehicle.
Electric vehicle charging station means a public or private parking space that is served by battery charging station equipment that has as its primary purpose the transfer of electric energy (by conductive or inductive means) to a battery or other energy storage device in an electric vehicle.
Electric vehicle charging station—private restricted use means an electric vehicle charging station that is:
(1)
Privately owned with restrictive access (e.g., single-family home, executive parking, designated employee parking); or
(2)
Publicly owned and restricted from public access (e.g., fleet parking with no access to the general public).
Electric vehicle charging station—public use means an electric vehicle charging station that is:
(1)
Publicly owned and publicly available (e.g., park and ride parking, public library parking lot, on-street parking); or
(2)
Privately owned and available to visitors for use (e.g., shopping center parking).
Electric vehicle infrastructure means wiring conduit/wiring, structures, machinery, and equipment necessary and integral to support an electric vehicle, including battery charging stations and rapid charging stations (e.g. Level 3).
Electric vehicle parking space means any designated parking space that identifies the use to be exclusively for the parking of an electric vehicle.
Non-electric vehicle means any motor vehicle that does not meet the definition of an electric vehicle.
Plug-in hybrid electric vehicle means an electric vehicle that:
(1)
Contains an internal combustion engine and also allows power to be delivered to drive wheels by an electric motor;
(2)
Charges its battery primarily by connecting to the grid or other off-board electrical source;
(3)
May additionally be able to sustain battery charge using an on-board internal combustion-driven generator; and
(4)
Has the ability to travel powered by electricity.
(c)
Compliance. It is unlawful to construct or install, or cause to be constructed or installed, any electric vehicle charging station upon any property within the city in violation of the requirements of this section. Any charging station installed prior to the adoption of this section shall be grandfathered until its replacement, provided it is in compliance with the electrical code.
(d)
Permit required. It shall be unlawful for any person to construct or erect an electric vehicle charging station upon any property within the city without obtaining a zoning permit from the City of Petoskey zoning administrator or other designated city official. The permit application shall be accompanied by a plot plan prepared by a licensed professional architect, engineer, landscape architect, professional community planner, or land surveyor showing the type, size, and proposed location of the electric vehicle charging station and payment of the permit fee established by resolution adopted by city council. The requirement for submission of an official plot plan is not required for properties zoned residential when the electric vehicle charging station is located inside a structure. If the electric vehicle charging station is located outside of the structure for properties zoned residential, a plot plan drawn to scale by the owner, occupant or interested party is required.
(e)
Permitted locations.
(1)
Level 1 and Level 2 electric vehicle charging stations are permitted in every zoning district, when accessory to the primary permitted use. Such stations located at single-family, multifamily, and mobile home park dwellings shall be designated as private restricted use only. Installation shall be subject to review by the zoning administrator. Permit and inspection approval process shall be administered by the Emmet County Building Department.
(2)
Level 3 electric vehicle charging stations are permitted in every zoning district except in any residential zone, or residential properties located in nonresidential zoning districts. Installation shall be subject to review by the zoning administrator. Permit and inspection approval process shall be administered by the Emmet County Building Department.
(3)
If the primary use of the parcel is the retail electric charging of vehicles, then the use shall be considered a gasoline service station (also known as vehicle fueling station) for zoning purposes. Installation shall be located in and subject to approval in zoning districts which permit gasoline service stations.
(f)
Development standards.
(1)
Parking.
a.
For a newly developed parcel, an electric vehicle charging station space shall be included in the calculation for the maximum required parking spaces required in accordance with section 1704. For an existing parcel, an approved existing parking space (except an ADA accessible space) may be converted to an electric vehicle parking space without being in violation of the requirements in section 1704.
b.
Public electric vehicle charging stations are reserved for parking and charging electric vehicles only. Electric vehicles may be parked in any space designated for public parking, subject to the restrictions that would apply to any other vehicle that would park in that space.
(2)
ADA accessible electric vehicle spaces. An ADA accessible electric vehicle charging station, if provided, shall be located in close proximity to the building or facility entrance.
(3)
Lighting. Lighting shall be provided where an electric vehicle charging station is installed, unless charging is for daytime purposes only or on residential zoned properties or residential properties located in non-residential zoning districts. Lighting shall not encroach upon abutting properties.
(4)
Equipment standards and protection.
a.
Battery charging station outlets and connector devices shall be no less than 36 inches above grade and no higher than 48 inches above grade where mounted. Equipment mounted on pedestals, lighting posts, bollards, or other devices shall be designed and located so as not to impede pedestrian travel or create trip hazards on sidewalks.
b.
Adequate battery charging station protection, such as concrete-filled steel bollards shall be used and shall be in accordance with section 312 of the International Fire Code (IFC). Curbing may be used in lieu of bollards if the battery charging station is set back a minimum of 24 inches from the face of the curb.
c.
Electric vehicle charging stations shall be installed not less than ten feet from any building or structure and have a means of emergency power disconnect (Knox Remote Power Box) in nonresidential structures.
d.
Electric vehicle charging systems shall be installed in accordance with NFPA 70. Electric vehicle charging systems equipment shall be listed and labeled in accordance with Underwriters Laboratory (U.L), 2022. Electric vehicle supply equipment shall be listed and labeled in accordance with U.L. 2594.
(5)
Usage fees. Commercially zoned or occupied properties are not restricted from collecting a service fee for the use of an electric vehicle charging station made available to employees or visitors of the property.
(6)
Signage.
a.
Design specifications for signage shall be obtained from the zoning administrator.
b.
Information shall be posted identifying voltage and amperage levels or safety information related to the electric vehicle charging station. Commercial use shall include hours of operation and fees.
c.
Each electric vehicle charging station space shall be posted with signage indicating the space is only for electric vehicle charging purposes.
(7)
Maintenance. Electric vehicle charging stations shall be maintained in all respects, including the functioning of the equipment. For all installations of EV charging stations, a phone number or other contact information shall be posted on the equipment for reporting non-functioning equipment, malfunctioning equipment, or other issues regarding the equipment.
(g)
Municipal civil infraction/penalties. Persons who violate a provision of this Code or fail to comply with any of the requirements thereof, shall be guilty of a municipal civil infraction and subject to the civil fines set forth in the schedule of civil fines in Ordinance No. 674 applicable to the City of Petoskey Zoning Ordinance, being the City of Petoskey's Municipal Civil Infraction Ordinance, as amended, [6] and shall be subject to any other relief that may be imposed by a court for such conduct, which shall also be considered a nuisance per se. Each act of violation and each day upon which such violation occurs shall constitute a separate violation.
(Ord. No. 796, 6-3-2024)
Editor's note— Ord. No. 796, adopted June 3, 2024, set out provisions intended for use as §§ 1719.0—1719.6. To preserve the style of this Code, and at the editor's discretion, these provisions have been included as § 1720.
Currently the fine for a first offense is $100.00; second offense $250.00; third offense $500.00.