CONSTRUCTION OF LANGUAGE AND DEFINITIONS
For the purpose of this ordinance, certain numbers, abbreviations, terms, and words used herein shall be used, interpreted, and defined as set forth in this section. Unless the context clearly indicates to the contrary:
1.
The particular shall control the general.
2.
Words used in the present tense include the future tense.
3.
Words used in the singular number include the plural; and words used in the plural number include the singular.
4.
The word "herein" means contained in this ordinance.
5.
The word "regulation" means the regulations of this ordinance.
6.
The words "this ordinance" shall mean the ordinance illustrations, text, tables, maps, and schedules included herein, as enacted or subsequently amended.
7.
In case of any difference of meaning or implication between the text of this ordinance and any caption or illustration, the text shall control.
8.
The term "shall" is always mandatory.
9.
Lists of examples prefaced by "including," "such as," or other similar prefaces shall not be construed as exclusive and shall not preclude an interpretation of the list including other similar examples which are not expressly mentioned.
10.
The term "building," "structure," "premises," or any similar term shall be interpreted to include any part of the building, structure, premises, or other similar term, unless otherwise stated.
11.
The "city council," "zoning board of appeals," and "planning commission" are respectively the city council, zoning board of appeals, and planning commission of the City of Petoskey.
12.
The phrase "used for" includes "arranged for," "designed for," "intended for," "maintained for," or "occupied for."
13.
The word "person" includes an individual, a corporation, a limited liability company, a partnership, an incorporated association, or any other similar entity.
14.
Unless the context clearly indicates the contrary, where a regulation involves two or more items, conditions, provisions, or events connected by the conjunction "and," "or," "either...or," the conjunction shall be interpreted as follows:
a.
"And" indicates that all the connected items, conditions, provisions, or events shall apply.
b.
"Or" indicates that the connected items, conditions, provisions, or events may apply singly or in any combination.
c.
"Either…or" indicates that the connected items, conditions, provisions, or events shall apply singly but not in combination.
(Ord. No. 745, § 1, 5-19-2014)
For the purpose of this ordinance, the following terms shall take the meaning set forth in this Section. Terms not expressly defined shall be given their customary meaning from common parlance or as defined in other chapters of the Petoskey Municipal Code of Ordinances.
Access management: A method of planning, design, and implementation of land use and multi-modal transportation strategies that maintain a safe flow of traffic while accommodating the access needs of adjacent developments. This includes the systematic control of the location, spacing, design, and operation of driveways, median openings, interchanges, and street connections.
Accessory building: A detached building that is subordinate in size and character to a principal building situated on the same lot or parcel. The accessory building may contain a garage, carport, or storage area. When an accessory building is attached to the main building with a wall or roof (not including open roofs such as a pergola), the accessory building shall be considered a part of the main building for setback purposes.
Accessory use or accessory: A use which is clearly incidental to, customarily found in connection with, and (except in the case of accessory off-street parking spaces or loading) located on the same zoning lot as the principal use to which it is related.
When "accessory" is used in this text, it shall have the same meaning as accessory use.
An accessory use includes:
a.
Residential accommodations for caretakers.
b.
Swimming pools for the use of the occupants of a residence or their guests.
c.
Domestic storage in a barn, shed, carriage house, or similar accessory building/structure.
d.
A newsstand primarily for the convenience of the occupants of a building, which is located wholly within such building, and has no exterior signs or displays.
e.
Storage of merchandise normally stocked in connection with a business or industrial use, unless such storage is excluded in the applicable district regulations.
f.
Storage of goods used in or produced by industrial uses or related activities, unless such storage is excluded in the applicable district regulations.
g.
Accessory off-street parking spaces, open or enclosed, subject to the accessory off-street parking regulations for the district in which the zoning lot is located.
h.
Uses clearly incidental to a main use, such as offices of an industrial or commercial complex that are located on the site of the commercial or industrial complex.
i.
Accessory off-street loading subject to the off-street loading regulations for the district in which the zoning lot is located.
j.
Accessory sign subject to the sign regulations for the district in which the zoning lot is located.
Access-way: A public or private street, service drive, alley, driveway, or other means of approach or departure from a property. The access-way provides ingress or egress to a property, parcel, or site via a curb cut at an existing or proposed public street outside the property limits of the site development.
Adult or sexually oriented uses: See article 28 of the Zoning Ordinance for definitions.
Affordable housing: Housing that meets the current United States Department of Housing and Urban Development (HUD) criteria.
Alteration: Any change, addition, or modification in construction; type of occupancy; or in the structural members of a building, such as walls, partitions, columns, beams, or girders. The consummated act of which may be referred to herein as "altered" or "reconstructed."
Architectural detail: That portion of a building constituting any subsidiary element of the larger whole, such as projection, relief, cornice, light fixture, window or door opening, or change of building material; but exclusive of signs.
Architectural projection: Any component, member, or part which juts out from a building, such as eaves, cornices, bay windows having no floor space, platforms, or porches.
Articulation: The provision of emphasis to architectural elements that create a complementary horizontal pattern or rhythm, by a measured and proportioned inflexion, which divides buildings into smaller identifiable segments.
Assembly area: A facility with fixed seats or large spaces, designed to accommodate temporary seating on a regular basis, for gatherings, events, or open exhibition halls. Examples include: churches, auditoriums, libraries, schools, theatres, stadiums, community centers, or similar places.
Assisted living facility: A special combination of housing, supportive services, personalized assistance, and health care designed to respond to the individual needs of residents who need help with activities of daily living; which may or may not include a central or private kitchen, dining, recreational, and other facilities; with separate bedrooms or living quarters; and where the emphasis of the facility remains residential.
Attic: The space between the ceiling beams, or similar structural elements, of the top story of a building and the roof rafters.
Automated teller machine (ATM): A machine used by bank and financial service patrons for conducting transactions, including deposits, withdrawals, and fund transfers without contact with financial institution personnel.
Automobile-related services: See Vehicle.
Average grade: The average between the highest and lowest elevation of the natural finished grade abutting the street walls of a structure.
Awning or canopy: Any covered structure made of cloth, metal, or other material with supporting frames attached to a building which projects beyond the building wall and/or is carried by a frame supported by the building, ground, or sidewalk below it.
Basement: That portion of a building which is partly or wholly below grade but so constructed that no more than 25 percent is above the average grade.
Bed and breakfast operation: An owner-occupied single family residence licensed to provide overnight sleeping accommodations to paying guests in accordance with regulations governing such activities.
Bedroom: A room intended for sleeping or placement of a bed separated from other spaces in the dwelling unit and which includes a second egress opening. The following spaces do not qualify as bedrooms: kitchens; dining areas; gathering spaces such as living rooms, dens, family rooms; and attics or basements without egress meeting standards in applicable building, residential, and fire codes.
Block face: That portion of a block or tract of land facing the same side of a single street and lying between the closest intersecting streets.
Boarding house: A dwelling unit with a single kitchen facility where lodging is provided and meals may be provided to occupants for compensation either directly or indirectly for no less than a 30-day period.
Brew pub/microbrewery: A commercial business which conducts the retail sale of beer (malt beverages with alcohol content as defined by federal law) which is brewed on the premises in compliance with applicable state and federal laws. Such establishments may also include restaurants as an accessory use.
Building: Any structure, either temporary or permanent, having a roof supported by columns or walls and intended for the shelter, housing, or enclosure of any individual, animal, process, equipment, goods, or materials of any kind.
Building envelope: The three-dimensional space within which a structure is permitted to be built on a lot that is defined by maximum height regulations and minimum yard setbacks or build-to-lines.
Building footprint: The total area contained within the exterior foundation or framing area taken on a horizontal plane at the largest floor level of a building or an accessory building (exclusive of terraces, patios, decks,-steps, awnings, or nonpermanent canopies).
Building height: The vertical distance measured from the average grade: to the highest point of the roof (parapet) for flat roofs; to the deck line of mansard roofs; or to the average height between eaves and ridge for gable, hip, and gambrel roofs (see Figure 2).
Building line: A line formed by each face of the building (see Figure 3).
FIGURE 2
BUILDING HEIGHT
FIGURE 3
BUILDING LINE
Building placement: The placement of a building on its lot.
Building transparency: The ability to see into a building with clarity.
Build-to-line: A line parallel to the front property line along which a building or porch shall be built to create an even building facade line on a street.
Bulk: The size and mutual relationships of a building or structure with respect to: size and height of the building; location of exterior walls at all levels in relation to lot lines, streets, or other buildings; and gross floor area of the building in relation to the lot area.
Bus passenger station: A premises for the storage and parking of motor-driven buses and the loading and unloading of passengers.
Cantilever: A projecting beam, building member, or component supported at only one end.
Car wash: See Vehicle wash.
Carport: See Accessory building.
Cemetery: A place used for interment of human, animal, or cremated remains, including a burial park for earth interments, a mausoleum for vault or crypt interments, a columbarium for cinerary interments, or a combination thereof (does not include a crematory).
Clinic: A health care facility providing medical or dental office visits, consultations, diagnostic tests, urgent care, treatments, ambulatory surgery, or other medical activities not requiring an overnight stay by patients.
Co-living: A shared living space and amenities, fostering a sense of community. It involves private bedrooms combined with shared common areas, such as kitchens, lounges, or workspaces.
Commercial parking facility: A parking area or parking structure available to the public, with or without fee, used to temporarily store motor vehicles.
Commercial storage facility: A structure containing separate, individual, and private storage spaces of varying sizes leased or rented individually for varying periods of time.
Commercial vehicle: Any vehicle for hire which is used for the transportation of passengers, goods, wares, merchandise, or vehicle transport.
Commission: The planning commission of the City of Petoskey, Michigan.
Contractor's establishment: A facility, building, structure, grounds, or portion thereof used to store tools, trucks, equipment, supplies, resources, and materials used by building construction professionals, contractors, and subcontractors. Such facilities typically will include outdoor storage, assembly, or staging areas.
Convalescent/nursing care facility: A structure with sleeping rooms, where persons are housed and are furnished with meals, nursing and medical care.
Convenience store: Any retail establishment offering for sale such items as prepackaged food products, household items, newspapers, magazines, and prepared foods for off-site consumption.
Corner clearance: Any obstruction within the vision triangle that is more than two feet higher than the street midpoint.
Corner-front yard: The secondary street-fronting yard of a corner lot not included in the property address.
Day care: Includes home day care facilities and day care centers as defined and licensed by the State of Michigan.
Deck: An accessory structure or platform supported by pillars or posts, either attached or unattached to a building, that is higher than seven inches above grade at any portion of the structure or platform and does not contain walls.
Decorative screening wall: A wall of masonry construction materials, such as brick, stone, or an architectural grade of concrete, which reflects or complements the architectural materials on the same or adjoining properties.
Dish antenna: An earth based station whose purpose is to receive communications or signals from orbiting satellites or other signal energizing sources together with other equipment pertaining directly to the function of a dish antenna.
District: A section, zone, or geographic area of the city regulated by particular or specific zoning or development provisions.
Drive-through business: A principal use or accessory use that permits customers to receive services or obtain goods while remaining in their vehicles.
Dwelling: A place of habitation with food preparation facilities regardless of building type.
Dwelling, accessory: A separate, complete housekeeping unit with a separate entrance, kitchen, sleeping area, and full bathroom facilities which is an attached or detached extension to an existing single-family structure.
Dwelling, duplex: A residential structure designed for two dwelling units.
Dwelling, multi-family: A building or portion thereof which consists of three or more dwelling units and which is designed for occupancy by three or more families living independently of each other.
Dwelling, single-family: A building consisting of only one dwelling unit occupied exclusively by one family.
Dwelling unit: A self-contained unit within a building that is designed for human occupancy and provides complete living facilities, including permanent provisions for sleeping, eating, cooking, and sanitation. "Dwelling unit" does not include bed and breakfasts, hotels, motels, and boarding houses.
Eating and/or drinking establishment: A retail establishment selling food and/or drink for on-site consumption or for take-out.
Educational facility: A public, private, or parochial school offering instruction at the primary, secondary, or post-secondary level.
Essential services: Services rendered, for the publics' general health, safety, and welfare, by public utilities or municipalities. Services include gas, electrical, steam, fuel, or water transmission; or distribution, collection, communication, supply or disposal systems.
Excavation: Any breaking of ground (except common household gardening, ground care, or landscaping).
Exception: Permission to depart from the use or design standards of this zoning ordinance provided an "exception" is not a "variance."
Façade: The front or principal face of a building.
Family: One person or two or more persons related by blood, marriage, legal adoption or foster care; or a group not exceeding four unrelated persons living together as a single housekeeping unit using common cooking facilities.
Farm: The land, plants, animals, buildings, structures, including ponds used for agricultural or aqua-cultural activities, machinery, equipment, and other appurtenances used in the commercial production of farm products.
Fence: A constructed barrier erected to enclose, screen, or separate parcels.
Fence, decorative: A fence, no more than three and one-half feet (42 inches) in height measured from the established grade to the top of the highest fence post, no less than 50 percent open, and intended primarily as an ornament or accent on a parcel such as a picket, wrought iron, split rail or similar material. Chain link (with or without vinyl covering), wire mesh, wood stockade, and snow fencing shall not be considered decorative fencing.
Fence, living: A hedge or row of bushes planted with the purpose of screening a yard.
Fence, privacy, screening, security: A fence no more than six feet in height intended primarily to screen or provide security to property.
Fenestration: Openings in the building wall, including windows and doors, allowing light and views between the interior and exterior. Fenestration is measured as the glass area or as the open area for parking structures or other enclosed spaces.
Foster care: A State of Michigan licensed residential care facility.
Garage, private: An accessory building or portion of a main building, designed or used primarily for the storage of vehicles and boats, that is used by the occupants of the building to which it is accessory.
Grade: See Average grade.
Green building: Structures that incorporate the principles of sustainable design—design in which the impact of a building on the environment will be minimal over the lifetime of that building. Green buildings incorporate principles of energy and resource efficiency; practical applications of waste reduction and pollution prevention; good indoor air quality and natural light to promote occupant health and productivity; and transportation efficiency in design and construction during use and reuse.
Greenbelt, obscuring: A landscape area of definite width, height, and location, containing plant materials of definite spacing, designed to serve as an obscuring device in carrying out the screening requirements of this zoning ordinance.
Greenhouse: A building whose roof and sides are made largely of glass or other transparent or translucent material in which the temperature and humidity can be regulated for the cultivation of delicate or out-of-season plants.
Ground or first floor: The first floor or ground level of any building or structure above or on the same plane as the surface of the sidewalk.
Home business: An enterprise or activity conducted by the occupant of the dwelling unit that is secondary and incidental to the primary use of the dwelling as a residence.
Hospital: A facility providing health services primarily for in-patient medical or surgical care of the sick or injured. This includes related facilities such as laboratories, out-patient departments, training facilities, central service facilities, and staff offices which are an integral part of the hospital facility.
Hotel: Any building, structure or part thereof, which is used primarily for paid public lodging on a transient basis in which access to and from each room or unit is through an interior door. For purposes of this definition, the word transient means occupancy for less than 30 consecutive days.
Impervious surface: Any material that prevents the absorption of storm water into the ground.
Junk yard: An area where waste, used, or secondhand materials are bought and sold, exchanged, stored, baled, packed, disassembled, or handled including: scrap iron and other metals, paper, rags, rubber tires, and bottles. A "junk yard" includes automobile wrecking yards and includes any open area of more than 200 square feet for storage, keeping, or abandonment of junk.
Kennel, commercial: Any lot or premises on which three or more dogs, cats, or other household pets are either permanently or temporarily boarded. Any lot or premises where household pets are bred or sold.
Land division: As defined in the Land Division Act of the State of Michigan, being Act 288 of the Public Acts of 1967, as amended, MCL 560.101 et seq.
LARA: The Michigan Department of Licensing and Regulatory Affairs.
Licensee: An entity that holds a license issued under the Medical Marihuana Facilities Licensing Act, Act 281 of 2016, as amended, that allows the licensee to operate as one of the following, specified in the license:
(1)
A grower.
(2)
A processor.
(3)
A secure transporter.
(4)
A provisioning center.
(5)
A safety compliance facility.
Loading space: An off-street space on the same lot with a building or group of buildings for the temporary parking of a commercial vehicle while loading and unloading merchandise or materials.
Lot: A parcel of land which is or may be occupied wholly or in part by one principal building or use and its accessories, and having either immediate frontage upon a public street or a permanent, exclusive, non-obstructed deeded access to a public street.
Lot area: The total area within the lot boundaries.
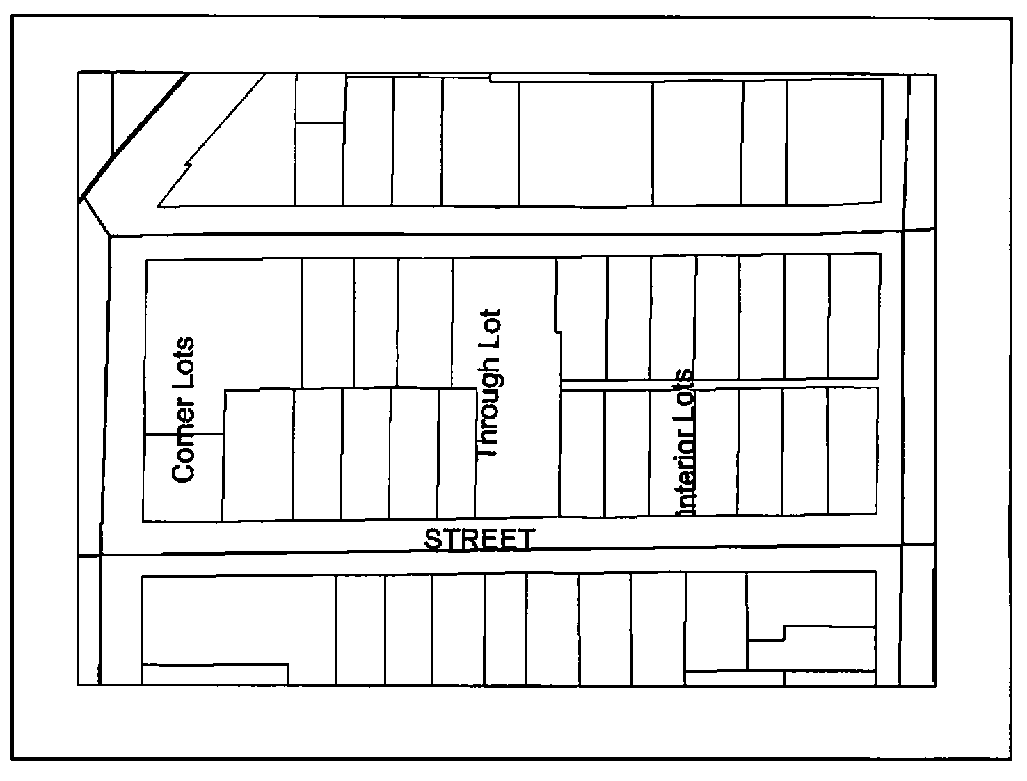
Lot, corner: A lot where the interior angle of two adjacent sides at the intersection of two streets is less than 135 degrees. A lot abutting upon a curved street or streets shall be considered a corner lot for the purposes of this ordinance if the arc is of less radius than 150 feet and the tangents to the curve, at the two points where the lot lines meet the curve of the straight street line extended, from an interior angle of less than 135 degrees.
Lot coverage: That portion of a lot that is covered by a building or buildings expressed as a percentage of the total lot area.
Lot depth: The distance between the front and rear lot lines measured along the median between the side lot lines.
Lot, interior: Any lot other than a corner lot.
Lot lines: The lines bounding a lot as defined herein:
a.
Front lot line: The line separating a lot from the street right-of-way. For a through lot, the line separating a lot from either street right-of-way. For a corner lot, the line designated on the building plans filed for a zoning compliance permit.
b.
Rear lot line: That lot line opposite the front lot line. In the case of a lot pointed at the rear: The rear lot line shall be an imaginary line parallel to the front lot line; not less than ten feet long lying farthest from the front lot line; and wholly within the lot.
c.
Side lot line: Any lot line other than the front lot line or rear lot line. A side lot line separating a lot from another lot or lots is an interior lot line.
FIGURE 4
INTERIOR, THROUGH AND CORNER LOTS
Lot, through: Any interior lot having frontage on two streets.
Lot width: The distance between the side lot lines measured between the two points where the front setback line intersects the side lot lines.
Lot, zoning: A single tract of land located within a single block which, at the time of filing for a building permit, is designated by its owner or developer as a tract to be used, developed, or built upon as a unit under single ownership or control. A zoning lot shall satisfy this ordinance with respect to area, size, odimensions, and frontage as required in the district in which the zoning lot is located. A zoning lot, therefore, may not coincide with a lot of record as filed with the county register of deeds, but may include one or more lots of record.
Manufactured home/mobile home: A structure, transportable in one or more sections, which is built on a chassis and designed to be used as a dwelling with or without permanent foundation when connected to the required utilities. It contains the plumbing, heating, air-conditioning, or electrical systems in the structure. Mobile home does not include a recreation vehicle.
Marihuana: The term as defined in section 7106 of the Public Health Code, 1978 PA 368, MCL § 333.7106 et seq.; the Michigan Medical Marihuana Act, MCL § 333.26421 et seq.; the Medical Marihuana Facilities Licensing Act, MCL § 333.27101 et seq.; and the Marihuana Tracking Act, MCL § 333.27901 et seq.
Marina: A facility, including three or more waterfront boat slips, which provides for the servicing, storing, fueling, berthing, and/or securing of boats; and that may include eating, sleeping, and retail facilities intended primarily for the owners, crews, and guests of boat owners using the marina.
Master plan: The comprehensive, long-range master plan intended to guide growth and development in the City of Petoskey which includes recommendations on future land use, economic development, intergovernmental cooperation, housing, transportation, natural, cultural, and historic resources, and community facilities pursuant to the requirements of the Michigan Planning Enabling Act, Act 33 of the Public Acts of 2008, as amended.
Medical, dental clinic: See Clinic.
Medical marihuana facility: An enterprise at a specific location at which a licensee is licensed and a permit holder is permitted to operate under the Medical Marihuana Facilities Licensing Act. The term does not include or apply to a "primary caregiver" or "caregiver" as that term is defined in the Michigan Medical Marihuana Act, MCL § 333.26421 et seq.
Medical marihuana permit: A current and valid permit for a medical marihuana facility issued under the city's medical marihuana facilities ordinance, granted in accordance with that ordinance.
Mixed use development: A development of a tract of land, building, or structure with a variety of complementary and integrated uses as permitted by the applicable zoning district.
Mobile home park: A parcel or tract of land under the control of a person upon which three or more mobile homes are located on a continual, non-recreational basis and which is offered to the public for that purpose regardless of whether a charge is made therefore, together with any building, structure, enclosure, street, equipment, or facility used or intended for use incident to the occupancy of a mobile home (MCL 125.2302).
Mortuary or funeral home: A facility used for preparation of the deceased and used to conduct visitation, burial, memorial, and funeral services.
Motel: A building or group of buildings in which lodging is provided to transient guests, offered to the public for compensation, where access to and from each room or unit is through an exterior door, and the entire building or group of buildings is used solely for this function.
Multi-modal transportation: A connected transportation system that supports cars, bicycles, pedestrians, and public transit.
Municipality: The City of Petoskey, Michigan.
Nursery: A space, building, structure, or combination thereof, for the storage of live trees, shrubs, or plants offered for retail sale on the premises including products used for gardening or landscaping. The definition of nursery within the meaning of this ordinance does not include any space, building, or structure used for the sale of fruits, vegetables, or pre-cut Christmas trees.
Off-street parking lot: A facility providing more than three vehicular parking spaces with adequate drives and aisles for maneuvering and access for entering and exiting.
Open-air business: A permanent business including the sales and/or display of retail merchandise or services outside of a permanent structure.
Open space: That part of a lot, including courts or yards, which is open and unobstructed from its lowest level to the sky.
Parapet: That portion of a building wall that extends above the roof line.
Park or parkland: A tract of land maintained and used by the public for active and/or passive recreation and which is owned and controlled by a public entity or unit of government.
Parking space: An area of defined length and width that shall be accessible for the parking of a vehicle.
Patio: A level, landscaped, and/or surfaced area, directly adjacent to a building, at or within seven inches of the finished grade and not covered by a permanent roof.
Pergola: An open trellis-like overhead frame which may be free-standing or attached to a building.
Personal service business: An establishment primarily engaged in providing services involving the care of a person, or his or her goods or apparel.
Planned unit development: See PUD.
Pond, detention: A pond designed to temporarily detain storm water runoff for a short period of time, gradually releasing it to the natural watercourse immediately after the peak volume of storm water has dissipated.
Pond, retention: A pond designed and intended to hold water for a considerable length of time for aesthetic or consumptive purposes, as well as for the collection and holding of storm water runoff, the volume of which may never be totally discharged to a natural watercourse.
Porch: A horizontal surface consisting of a deck, slab, or other similar construction attached to a building and designed for outdoor seating or as a means of entry to the building. A porch is covered by a roof structure that is supported by pillars or other similar means and may be enclosed by windows, screens, or other similar methods.
Power generating facility: A facility designed and used for the production of electrical energy primarily for the purpose of commercial sale to wholesale and retail customers connected to an electrical transmission grid. Such facilities include geothermal, hydro, solar, wind, coal, diesel, fuel oil, nuclear, natural gas combustion, or incinerator.
Principal building: A building in which the principal use of the lot is located.
Principal use: The main use to which the premises is devoted and the predominant purpose for which the premises exists.
Private communications antenna: An accessory structure used for, or intended to be used for, reception of satellite or radio transmissions.
Private road: A road that is owned and maintained by a private property owner or owners and that provides access to two or more principal buildings/uses.
Professional service establishment: An establishment engaged in providing assistance (as opposed to product) to individuals, businesses, industries, governments, and other enterprises. Professional services include financial, legal, insurance, real estate, engineering, consulting, and other similar services (excluding medical offices or clinics).
Provisioning center: A licensee that is a commercial entity located in this state that purchases marihuana from a grower or processor and sells, supplies, or provides marihuana to registered qualifying patients, directly or through the patients' registered primary caregivers. Provisioning center includes any commercial property where marihuana is sold at retail to registered qualifying patients or registered primary caregivers. A noncommercial location used by a primary caregiver to assist a qualifying patient connected to the caregiver through the department's marihuana registration process in accordance with the Michigan Medical Marihuana Act (MCL § 333.26421 et seq.) is not a provisioning center for purposes of this ordinance.
Public and quasi-public uses: Parks, playgrounds, trails, paths, and other recreational areas and open spaces; scenic and historic sites; schools, and other buildings and structures; and other places where the public is directly or indirectly invited to visit or permitted to congregate, such as churches, municipal off-street parking lots, libraries, museums, schools, or hospitals.
Public assembly: Buildings, structures, and grounds, including theaters, churches, auditoriums, convention spaces, stadiums, sports arenas, concert halls, lecture halls, and other similar facilities intended for commercial or non-commercial entertainment, instruction, worship, or similar activities involving assembled groups of people.
Public utility: A person, firm, corporation, municipal department, board, or commission duly authorized to provide under federal, state or municipal regulations to the public: gas, steam, electricity, sewage disposal, communication, telegraph, transportation, or water.
PUD (planned unit development): A customized zoning district that allows flexibility in the regulation of land development and promotes mixed or varied uses guided by a comprehensive site plan.
PUD consolidated open space: An open space area in a planned unit development (PUD) that is a continuous and uninterrupted portion of the development that is set aside as an interior greenbelt for the enjoyment of the residents or other occupants of the planned unit development. This open space may follow natural features such as valleys, rivers, swales, wetlands, ponds, et cetera, or it may be simply an open area of vegetation that is reserved for passive recreation by the occupants or residents. Exterior setbacks for the planned unit development shall not be included in the determination of the area of this open space nor shall setback or lawn areas in yards for the residential buildings be included in the calculation of consolidated open space.
PUD exterior setbacks: The distance between a property line that is the outer limit of the PUD project, and the nearest point of any building wall.
PUD final rezoning plan (also called "final plan"): A detailed plan of the PUD project, drawn to scale which includes all of the preliminary plan as well as additional detailed information regarding building sizes, types and locations; physical arrangement of roads and other significant public utilities; drainage and environmental protection plans; identification of open spaces; location and type of landscape materials; signage plan; and other site plan information. The final plan must be detailed enough to meet the information display requirements of section 2503 and section 2504(6).
PUD major revisions: A revision to an approved preliminary or final PUD plan that requires formal planning commission review and approval. There shall be two categories of major revisions in the ordinance as described in article XXV, section 2504(7). Administrative major revisions, also known as site plan amendments, shall only require planning commission review. Legislative major revisions, also known as zoning amendments, shall require planning commission review at a public hearing after notification of the property owners within 300 feet of the proposed PUD zoning amendment, and said amendment must be adopted by the Petoskey City Council.
PUD minor revisions: A revision to an approved final PUD plan that does not alter the basic design or any specific conditions of the final PUD plan as agreed upon by the planning commission and/or city council. The minor revisions are subject to administrative review and approval by the designated city staff.
PUD preliminary rezoning plan (also called "preliminary plan"): An overall plan of the PUD project, drawn to scale and including sufficient detail to show land use types, area and density in the project area in a clear and concise manner. The preliminary plan must be detailed enough to meet the information display requirements of sections 2504(3) and (4), of this ordinance.
Recreation, outdoor: Leisure time activities, areas, and accessory structures designed primarily for recreational activity in the open air.
Recreational facility, commercial: A recreation facility operated as a business and open to the public for a fee.
Recreational vehicle or equipment: Vehicle or equipment used for travel and leisure activities including:
a.
Travel trailer: A vehicular, portable structure built on a chassis, designed to be used as a temporary dwelling for travel, recreational, and vacation uses; and which is permanently identified as a "travel trailer" by the manufacturer.
b.
Pickup camper: A structure designed primarily to be mounted on a pickup or truck chassis with sufficient equipment to render it suitable for use as a temporary dwelling for travel, recreational, and vacation uses.
c.
Motorized home: A portable dwelling designed and constructed as an integral part of a self-propelled vehicle.
d.
Folding tent trailer: A canvas or plastic folding structure, mounted on wheels, designed for travel and vacation use.
e.
Utility trailer: A vehicle designed for the purpose of hauling miscellaneous goods and materials.
f.
Boats and boat trailers: Includes boats, floats, rafts, canoes and kayaks; plus the normal equipment to transport them on the highway.
g.
Other recreational equipment: Includes snowmobiles, personal watercraft (e.g., jet skis), all terrain or special terrain vehicles, motorcycles, utility trailers, plus the normal equipment used to transport them on the highway.
Research and development: An establishment for carrying on investigation in the natural, physical, or social sciences, which may include engineering and process or product development, but which does not involve the mass manufacture, fabrication, processing, or sale of products or services.
Residential care and treatment facility: A residential structure with a state license to provide services, programs and temporary shelter for residents who are undergoing alcohol or substance abuse rehabilitation.
Retail business or retail sales: An establishment engaged in selling goods or merchandise to the general public for personal or household consumption and rendering services incidental to the sale of such goods.
Right-of-way: An area owned or maintained by the City of Petoskey, Emmet County, Emmet County Road Commission, State of Michigan, federal government, public utility, railroad, or private entity for the placement of utilities or facilities and for the passage of vehicles or pedestrians including roads, streets, pedestrian walkways, utilities, or railroads.
Roof pitch: The slope of the roof expressed as the relationship between vertical and horizontal measure, for example, three units of vertical rise for 12 units of horizontal shelter is expressed as "3:12."
Rooftop mechanical equipment: Any permanently installed device, structure, or equipment, located on a building roof, intended or used for heating, air conditioning, make-up air, dust collection, plumbing ventilation, exhaust, telecommunication, or other purposes associated with the occupancy of the building.
Room: For the purpose of determining lot area requirements and density in a multiple-family district, a room is a living room, dining room, or bedroom. Kitchens, sanitary facilities, utility provisions, closets, corridors, hallways, attics, basements, and storage areas are not considered rooms for this purpose. Plans showing one, two or three bedroom units that also include a den, library, or other extra room shall count such extra room as a bedroom for the purpose of computing density.
Satellite dish: A parabolic dish antenna, including its structural supports, used for reception of various television programming signals or used to transmit or receive other radio or electromagnetic waves between terrestrially or orbitally-based uses.
Screen/screening: A wall, wood fencing, or combination of plantings of sufficient height, length, and opacity to form a visual barrier.
Self-service storage facility: A structure containing separate, individual, and private storage spaces of varying sizes leased or rented individually for varying periods of time.
Sensitive area: An area not suitable or desirable for intense development due to environmental constraints or natural features. Sensitive areas include: floodplains, wetlands, lakes, rivers, streams, dunes, and shorelines; significant vegetation; slopes; and habitat for animal and plant species of concern.
Service drive: A minor public or private street or driveway which may be parallel to and adjacent to a major thoroughfare. A service drive provides access to abutting properties and controls access to the major thoroughfare.
Setback: The minimum horizontal distance measured at right angles from the front, side, or rear lot line to the vertical plane of the building wall.
Sexually or adult-oriented business: See definitions in article XXVIII of this ordinance.
Sheltered housing: A community service facility offering temporary refuge for persons in domestic transition, including their natural or adopted children, living together as a group of individuals in a single housekeeping unit.
Short-term rental (STR): A "short-term rental" is the making of occupancy available for any dwelling unit or portion thereof for a fee or other compensation for a term of less than 30 consecutive days, but not including bed and breakfast establishments, hotel rooms, motels, transitional housing operated by a non-profit entity, group homes such as nursing homes and adult foster care homes, and hospitals or other health care related facilities.
Sign: Any writing, pictorial representation, illustration, decoration, emblem, symbol, design, trademark, or figure that is a structure or a part of a structure; is written, printed, painted, projected, constructed, illuminated, or otherwise placed or displayed upon any structure, building, or parcel of land; attracts attention to the subject thereof; is used as a means of identification, advertisement, announcement, expression, or decoration; and is visible from a street, right-of-way, sidewalk, alley, park, or other public property.
Stoop: A small platform which may include an entrance stairway at a door opening.
Storage, motor vehicle: The parking or placement of operable new or used motor vehicles on display for sale, lease, or for private storage.
Storage, outside: The outdoor placement of usable and/or potentially usable goods or equipment (not including waste or scrap materials in junk yards).
Storage, wholesale and distribution: Activities and facilities for the storage of goods and the bulk sale and distribution of products. Examples include warehouses, freight-forwarding and delivery operations, and air courier services.
Storefront: A street level facade that has at least one street-level entrance on the primary front of the building.
Story: That part of a building included between the surface of one floor and the surface of the next floor, or if there is no floor above, then the ceiling next above. A basement is not included as a story (see Figure 5).
FIGURE 5
BASIC STRUCTURAL TERMS
Street: A public or private thoroughfare, used or intended to be used for passage or travel by motor vehicles. "Street" also includes the term "Road."
Street, alley: Any dedicated public way affording a secondary means of access to abutting property, and not intended for general traffic circulation.
Street, boulevard: A thoroughfare or collector that contains a median often landscaped with turf, trees, shrubs, or other landscape material.
Street, collector: A street that serves as a link between local and minor arterial streets (e.g., Howard Street, Kalamazoo Avenue, Lake Street, and Jennings Avenue).
Street, local: A street that primarily accesses individual properties and homes (e.g. Morgan Street, Grove Street, Summit Street, and Lockwood Avenue).
Street, minor arterial: A street with primary function to move traffic between principal arterials and local streets and between major parts of the city such as neighborhoods, employment and shopping. It also provides important roadway links into the city and to major activity areas and are considered secondary gateways (e.g., East Mitchell Street, Emmet Street, Sheridan Street, and Atkins Street).
Street, principal arterial: A road that generally carries long distance, through-travel and provides access to important traffic generators, such as employment centers and shopping areas. It is an important route through the city and is also a primary entrance or gateway from outlying areas (e.g., US 31 and US 131).
Street, private. A privately owned and maintained street serving two or more lots, parcels, buildings or dwellings, and constructed on a privately owned easement.
Street, public. An easement, right-of-way, or other interest that has been conveyed to and accepted by a governmental body for the purpose of providing access to abutting land.
Streetscape: The various components that make up the street, both in the right of way and on private lot frontages. Examples include pavement, parking spaces, planting areas, street trees, streetlights, sidewalks, front yards, front porches, and signs.
Structure: Anything constructed or erected, the use of which requires location on the ground or attachment to something having location on the ground.
Telecommunication antenna: A device used to transmit and/or receive radio-frequency signals, microwave signals, or other signals to or from other antennas or telecommunication facilities for commercial or municipal purposes.
Telecommunication tower: Any structure which is designed and constructed primarily for the purpose of supporting one or more antennas for telephone, radio, or other communication purposes. Such structures may be freestanding, such as self-supporting lattice, guyed, or monopole towers; or attached to an existing structure, such as artificial trees, steeples, light poles, poles supporting power lines, or similar mounting structures that effectively camouflage or minimize the visual impact of antennas and towers.
Temporary structure: A structure that lacks a permanent foundation for a use that is temporary.
Temporary use: A use of property that is not the principal use and has a limited duration, such as a special event.
Traffic impact study: An analysis of the effect of traffic generated by a development on the capacity, operations, and safety of the public street and highway system.
Use: The principal purpose for which land or a building is arranged, designed, or intended; or for which land or a building is or may be occupied.
Use, change of: Any alteration in the primary use of a lot for zoning purposes that may entail consideration of additional ordinance requirements.
Usable floor area: The area used for, or intended to be used for, the sale of merchandise or services; the area for serving patrons, clients, or customers; and the area devoted to employee workspace. Such floor area which is used, or intended to be used, principally for the storage of merchandise, hallways, elevator or stair bulkheads, utilities, or sanitary facilities shall be excluded from this computation of "usable floor area." Measurement of usable floor area shall be the horizontal areas of the floor(s) of the building, measured from the interior faces of the exterior walls (see Figure 6).
Variance: See section 2004(2) of this ordinance.
Vehicle and recreational vehicle sales area: An outdoor area used for the storage, display, sale, or rental of motor vehicles or recreational vehicles, new or used, in operable condition.
Vehicle charging station (electric vehicle): A device or station that provides power to charge the batteries of an electric vehicle.
Vehicle gasoline station: Any building, land area, or other premises, or portion thereof, used for retail sales and dispensing of vehicular fuels and/or convenience items to the general public.
FIGURE 6
USABLE FLOOR AREA
Vehicle repair, Major: An establishment engaged in the general repair, overhaul, or reconditioning of motor vehicles and recreational vehicles. Services include engine and transmission rebuilding; collision repair services, such as body, frame, or fender straightening and repair; major welding activities; and overall painting and undercoating of automobiles.
Vehicle repair, minor: An establishment engaged in the general mechanical repair and maintenance of passenger automobiles and trucks weighing less than 7,000 pounds. Services include muffler, suspension and brake repairs, upholstery repair, oil changes, general lubrication services, and tire services, but not including major automobile repairs.
Vehicle service establishment: A retail establishment engaged in light motor services such as: Changing engine oil, filters, and fluids; replacing spark plugs; and general lubrication services.
Vehicle wash: Any facility used for the commercial washing of motor vehicles.
View corridor: A line-of-sight corridor from a public activity area such as a pedestrian walkway, outdoor recreation area, outdoor eating/drinking facility, outdoor attraction, or similar area to Little Traverse Bay.
Viewshed: A visually attractive, aesthetic, or significant area, such as Little Traverse Bay, that is visible from a defined observation point.
Visible light transmittance: A measure of the amount of visible light that passes through the glazing material of a window, door, or skylight.
Vision triangle: The area at an intersection formed by extending a straight line 20 feet along the back of each curb from its radius spring point and connecting these two points (see Figure 8).
Yard: The open space (on the same lot with a main building) unoccupied and unobstructed from the ground upward except otherwise provided in this ordinance, and as defined herein (see Figure 7).
a.
Front yard: An open space extending the full width of the lot, the depth of which is the minimum horizontal distance between the front lot line and the nearest point of the main building.
b.
Rear yard: An open space extending the full width of the lot, the depth of which is the minimum horizontal distance between the rear lot line and the nearest point of the main building. In the case of a corner lot, the rear yard may be opposite either street frontage.
c.
Side yard: An open space between a main building and the side lot line; extending from the front yard to the rear yard; the width of which is the horizontal distance from the nearest point on the side lot line to the nearest point of the main building.
FIGURE 7
YARDS
Zoning compliance permit: A permit required when there is any building change of use or change in footprint including decks, accessory buildings, or temporary structures.
(Ord. No. 538, § 1, 2-1-1982; Ord. No. 542, § A, 5-3-1982; Ord. No. 558, § 1, 5-7-1984; Ord. No. 605, 7-20-1987; Ord. No. 632, §§ 1, 2, 10-21-1991; Ord. No. 732, § 3, 2-18-2013; Ord. No. 745, § 1, 5-19-2014; Ord. No. 758, § 4, 10-16-2017; Ord. No. 759, § 1, 2-19-2018; Ord. No. 770, 5-20-2019; Ord. No. 772, 10-7-2019; Ord. No. 794, §§ 1, 2, 12-4-2023; Ord. No. 798, §§ 1, 2, 1-20-2025; Ord. No. 802, § 1, 7-7-2025)
CONSTRUCTION OF LANGUAGE AND DEFINITIONS
For the purpose of this ordinance, certain numbers, abbreviations, terms, and words used herein shall be used, interpreted, and defined as set forth in this section. Unless the context clearly indicates to the contrary:
1.
The particular shall control the general.
2.
Words used in the present tense include the future tense.
3.
Words used in the singular number include the plural; and words used in the plural number include the singular.
4.
The word "herein" means contained in this ordinance.
5.
The word "regulation" means the regulations of this ordinance.
6.
The words "this ordinance" shall mean the ordinance illustrations, text, tables, maps, and schedules included herein, as enacted or subsequently amended.
7.
In case of any difference of meaning or implication between the text of this ordinance and any caption or illustration, the text shall control.
8.
The term "shall" is always mandatory.
9.
Lists of examples prefaced by "including," "such as," or other similar prefaces shall not be construed as exclusive and shall not preclude an interpretation of the list including other similar examples which are not expressly mentioned.
10.
The term "building," "structure," "premises," or any similar term shall be interpreted to include any part of the building, structure, premises, or other similar term, unless otherwise stated.
11.
The "city council," "zoning board of appeals," and "planning commission" are respectively the city council, zoning board of appeals, and planning commission of the City of Petoskey.
12.
The phrase "used for" includes "arranged for," "designed for," "intended for," "maintained for," or "occupied for."
13.
The word "person" includes an individual, a corporation, a limited liability company, a partnership, an incorporated association, or any other similar entity.
14.
Unless the context clearly indicates the contrary, where a regulation involves two or more items, conditions, provisions, or events connected by the conjunction "and," "or," "either...or," the conjunction shall be interpreted as follows:
a.
"And" indicates that all the connected items, conditions, provisions, or events shall apply.
b.
"Or" indicates that the connected items, conditions, provisions, or events may apply singly or in any combination.
c.
"Either…or" indicates that the connected items, conditions, provisions, or events shall apply singly but not in combination.
(Ord. No. 745, § 1, 5-19-2014)
For the purpose of this ordinance, the following terms shall take the meaning set forth in this Section. Terms not expressly defined shall be given their customary meaning from common parlance or as defined in other chapters of the Petoskey Municipal Code of Ordinances.
Access management: A method of planning, design, and implementation of land use and multi-modal transportation strategies that maintain a safe flow of traffic while accommodating the access needs of adjacent developments. This includes the systematic control of the location, spacing, design, and operation of driveways, median openings, interchanges, and street connections.
Accessory building: A detached building that is subordinate in size and character to a principal building situated on the same lot or parcel. The accessory building may contain a garage, carport, or storage area. When an accessory building is attached to the main building with a wall or roof (not including open roofs such as a pergola), the accessory building shall be considered a part of the main building for setback purposes.
Accessory use or accessory: A use which is clearly incidental to, customarily found in connection with, and (except in the case of accessory off-street parking spaces or loading) located on the same zoning lot as the principal use to which it is related.
When "accessory" is used in this text, it shall have the same meaning as accessory use.
An accessory use includes:
a.
Residential accommodations for caretakers.
b.
Swimming pools for the use of the occupants of a residence or their guests.
c.
Domestic storage in a barn, shed, carriage house, or similar accessory building/structure.
d.
A newsstand primarily for the convenience of the occupants of a building, which is located wholly within such building, and has no exterior signs or displays.
e.
Storage of merchandise normally stocked in connection with a business or industrial use, unless such storage is excluded in the applicable district regulations.
f.
Storage of goods used in or produced by industrial uses or related activities, unless such storage is excluded in the applicable district regulations.
g.
Accessory off-street parking spaces, open or enclosed, subject to the accessory off-street parking regulations for the district in which the zoning lot is located.
h.
Uses clearly incidental to a main use, such as offices of an industrial or commercial complex that are located on the site of the commercial or industrial complex.
i.
Accessory off-street loading subject to the off-street loading regulations for the district in which the zoning lot is located.
j.
Accessory sign subject to the sign regulations for the district in which the zoning lot is located.
Access-way: A public or private street, service drive, alley, driveway, or other means of approach or departure from a property. The access-way provides ingress or egress to a property, parcel, or site via a curb cut at an existing or proposed public street outside the property limits of the site development.
Adult or sexually oriented uses: See article 28 of the Zoning Ordinance for definitions.
Affordable housing: Housing that meets the current United States Department of Housing and Urban Development (HUD) criteria.
Alteration: Any change, addition, or modification in construction; type of occupancy; or in the structural members of a building, such as walls, partitions, columns, beams, or girders. The consummated act of which may be referred to herein as "altered" or "reconstructed."
Architectural detail: That portion of a building constituting any subsidiary element of the larger whole, such as projection, relief, cornice, light fixture, window or door opening, or change of building material; but exclusive of signs.
Architectural projection: Any component, member, or part which juts out from a building, such as eaves, cornices, bay windows having no floor space, platforms, or porches.
Articulation: The provision of emphasis to architectural elements that create a complementary horizontal pattern or rhythm, by a measured and proportioned inflexion, which divides buildings into smaller identifiable segments.
Assembly area: A facility with fixed seats or large spaces, designed to accommodate temporary seating on a regular basis, for gatherings, events, or open exhibition halls. Examples include: churches, auditoriums, libraries, schools, theatres, stadiums, community centers, or similar places.
Assisted living facility: A special combination of housing, supportive services, personalized assistance, and health care designed to respond to the individual needs of residents who need help with activities of daily living; which may or may not include a central or private kitchen, dining, recreational, and other facilities; with separate bedrooms or living quarters; and where the emphasis of the facility remains residential.
Attic: The space between the ceiling beams, or similar structural elements, of the top story of a building and the roof rafters.
Automated teller machine (ATM): A machine used by bank and financial service patrons for conducting transactions, including deposits, withdrawals, and fund transfers without contact with financial institution personnel.
Automobile-related services: See Vehicle.
Average grade: The average between the highest and lowest elevation of the natural finished grade abutting the street walls of a structure.
Awning or canopy: Any covered structure made of cloth, metal, or other material with supporting frames attached to a building which projects beyond the building wall and/or is carried by a frame supported by the building, ground, or sidewalk below it.
Basement: That portion of a building which is partly or wholly below grade but so constructed that no more than 25 percent is above the average grade.
Bed and breakfast operation: An owner-occupied single family residence licensed to provide overnight sleeping accommodations to paying guests in accordance with regulations governing such activities.
Bedroom: A room intended for sleeping or placement of a bed separated from other spaces in the dwelling unit and which includes a second egress opening. The following spaces do not qualify as bedrooms: kitchens; dining areas; gathering spaces such as living rooms, dens, family rooms; and attics or basements without egress meeting standards in applicable building, residential, and fire codes.
Block face: That portion of a block or tract of land facing the same side of a single street and lying between the closest intersecting streets.
Boarding house: A dwelling unit with a single kitchen facility where lodging is provided and meals may be provided to occupants for compensation either directly or indirectly for no less than a 30-day period.
Brew pub/microbrewery: A commercial business which conducts the retail sale of beer (malt beverages with alcohol content as defined by federal law) which is brewed on the premises in compliance with applicable state and federal laws. Such establishments may also include restaurants as an accessory use.
Building: Any structure, either temporary or permanent, having a roof supported by columns or walls and intended for the shelter, housing, or enclosure of any individual, animal, process, equipment, goods, or materials of any kind.
Building envelope: The three-dimensional space within which a structure is permitted to be built on a lot that is defined by maximum height regulations and minimum yard setbacks or build-to-lines.
Building footprint: The total area contained within the exterior foundation or framing area taken on a horizontal plane at the largest floor level of a building or an accessory building (exclusive of terraces, patios, decks,-steps, awnings, or nonpermanent canopies).
Building height: The vertical distance measured from the average grade: to the highest point of the roof (parapet) for flat roofs; to the deck line of mansard roofs; or to the average height between eaves and ridge for gable, hip, and gambrel roofs (see Figure 2).
Building line: A line formed by each face of the building (see Figure 3).
FIGURE 2
BUILDING HEIGHT
FIGURE 3
BUILDING LINE
Building placement: The placement of a building on its lot.
Building transparency: The ability to see into a building with clarity.
Build-to-line: A line parallel to the front property line along which a building or porch shall be built to create an even building facade line on a street.
Bulk: The size and mutual relationships of a building or structure with respect to: size and height of the building; location of exterior walls at all levels in relation to lot lines, streets, or other buildings; and gross floor area of the building in relation to the lot area.
Bus passenger station: A premises for the storage and parking of motor-driven buses and the loading and unloading of passengers.
Cantilever: A projecting beam, building member, or component supported at only one end.
Car wash: See Vehicle wash.
Carport: See Accessory building.
Cemetery: A place used for interment of human, animal, or cremated remains, including a burial park for earth interments, a mausoleum for vault or crypt interments, a columbarium for cinerary interments, or a combination thereof (does not include a crematory).
Clinic: A health care facility providing medical or dental office visits, consultations, diagnostic tests, urgent care, treatments, ambulatory surgery, or other medical activities not requiring an overnight stay by patients.
Co-living: A shared living space and amenities, fostering a sense of community. It involves private bedrooms combined with shared common areas, such as kitchens, lounges, or workspaces.
Commercial parking facility: A parking area or parking structure available to the public, with or without fee, used to temporarily store motor vehicles.
Commercial storage facility: A structure containing separate, individual, and private storage spaces of varying sizes leased or rented individually for varying periods of time.
Commercial vehicle: Any vehicle for hire which is used for the transportation of passengers, goods, wares, merchandise, or vehicle transport.
Commission: The planning commission of the City of Petoskey, Michigan.
Contractor's establishment: A facility, building, structure, grounds, or portion thereof used to store tools, trucks, equipment, supplies, resources, and materials used by building construction professionals, contractors, and subcontractors. Such facilities typically will include outdoor storage, assembly, or staging areas.
Convalescent/nursing care facility: A structure with sleeping rooms, where persons are housed and are furnished with meals, nursing and medical care.
Convenience store: Any retail establishment offering for sale such items as prepackaged food products, household items, newspapers, magazines, and prepared foods for off-site consumption.
Corner clearance: Any obstruction within the vision triangle that is more than two feet higher than the street midpoint.
Corner-front yard: The secondary street-fronting yard of a corner lot not included in the property address.
Day care: Includes home day care facilities and day care centers as defined and licensed by the State of Michigan.
Deck: An accessory structure or platform supported by pillars or posts, either attached or unattached to a building, that is higher than seven inches above grade at any portion of the structure or platform and does not contain walls.
Decorative screening wall: A wall of masonry construction materials, such as brick, stone, or an architectural grade of concrete, which reflects or complements the architectural materials on the same or adjoining properties.
Dish antenna: An earth based station whose purpose is to receive communications or signals from orbiting satellites or other signal energizing sources together with other equipment pertaining directly to the function of a dish antenna.
District: A section, zone, or geographic area of the city regulated by particular or specific zoning or development provisions.
Drive-through business: A principal use or accessory use that permits customers to receive services or obtain goods while remaining in their vehicles.
Dwelling: A place of habitation with food preparation facilities regardless of building type.
Dwelling, accessory: A separate, complete housekeeping unit with a separate entrance, kitchen, sleeping area, and full bathroom facilities which is an attached or detached extension to an existing single-family structure.
Dwelling, duplex: A residential structure designed for two dwelling units.
Dwelling, multi-family: A building or portion thereof which consists of three or more dwelling units and which is designed for occupancy by three or more families living independently of each other.
Dwelling, single-family: A building consisting of only one dwelling unit occupied exclusively by one family.
Dwelling unit: A self-contained unit within a building that is designed for human occupancy and provides complete living facilities, including permanent provisions for sleeping, eating, cooking, and sanitation. "Dwelling unit" does not include bed and breakfasts, hotels, motels, and boarding houses.
Eating and/or drinking establishment: A retail establishment selling food and/or drink for on-site consumption or for take-out.
Educational facility: A public, private, or parochial school offering instruction at the primary, secondary, or post-secondary level.
Essential services: Services rendered, for the publics' general health, safety, and welfare, by public utilities or municipalities. Services include gas, electrical, steam, fuel, or water transmission; or distribution, collection, communication, supply or disposal systems.
Excavation: Any breaking of ground (except common household gardening, ground care, or landscaping).
Exception: Permission to depart from the use or design standards of this zoning ordinance provided an "exception" is not a "variance."
Façade: The front or principal face of a building.
Family: One person or two or more persons related by blood, marriage, legal adoption or foster care; or a group not exceeding four unrelated persons living together as a single housekeeping unit using common cooking facilities.
Farm: The land, plants, animals, buildings, structures, including ponds used for agricultural or aqua-cultural activities, machinery, equipment, and other appurtenances used in the commercial production of farm products.
Fence: A constructed barrier erected to enclose, screen, or separate parcels.
Fence, decorative: A fence, no more than three and one-half feet (42 inches) in height measured from the established grade to the top of the highest fence post, no less than 50 percent open, and intended primarily as an ornament or accent on a parcel such as a picket, wrought iron, split rail or similar material. Chain link (with or without vinyl covering), wire mesh, wood stockade, and snow fencing shall not be considered decorative fencing.
Fence, living: A hedge or row of bushes planted with the purpose of screening a yard.
Fence, privacy, screening, security: A fence no more than six feet in height intended primarily to screen or provide security to property.
Fenestration: Openings in the building wall, including windows and doors, allowing light and views between the interior and exterior. Fenestration is measured as the glass area or as the open area for parking structures or other enclosed spaces.
Foster care: A State of Michigan licensed residential care facility.
Garage, private: An accessory building or portion of a main building, designed or used primarily for the storage of vehicles and boats, that is used by the occupants of the building to which it is accessory.
Grade: See Average grade.
Green building: Structures that incorporate the principles of sustainable design—design in which the impact of a building on the environment will be minimal over the lifetime of that building. Green buildings incorporate principles of energy and resource efficiency; practical applications of waste reduction and pollution prevention; good indoor air quality and natural light to promote occupant health and productivity; and transportation efficiency in design and construction during use and reuse.
Greenbelt, obscuring: A landscape area of definite width, height, and location, containing plant materials of definite spacing, designed to serve as an obscuring device in carrying out the screening requirements of this zoning ordinance.
Greenhouse: A building whose roof and sides are made largely of glass or other transparent or translucent material in which the temperature and humidity can be regulated for the cultivation of delicate or out-of-season plants.
Ground or first floor: The first floor or ground level of any building or structure above or on the same plane as the surface of the sidewalk.
Home business: An enterprise or activity conducted by the occupant of the dwelling unit that is secondary and incidental to the primary use of the dwelling as a residence.
Hospital: A facility providing health services primarily for in-patient medical or surgical care of the sick or injured. This includes related facilities such as laboratories, out-patient departments, training facilities, central service facilities, and staff offices which are an integral part of the hospital facility.
Hotel: Any building, structure or part thereof, which is used primarily for paid public lodging on a transient basis in which access to and from each room or unit is through an interior door. For purposes of this definition, the word transient means occupancy for less than 30 consecutive days.
Impervious surface: Any material that prevents the absorption of storm water into the ground.
Junk yard: An area where waste, used, or secondhand materials are bought and sold, exchanged, stored, baled, packed, disassembled, or handled including: scrap iron and other metals, paper, rags, rubber tires, and bottles. A "junk yard" includes automobile wrecking yards and includes any open area of more than 200 square feet for storage, keeping, or abandonment of junk.
Kennel, commercial: Any lot or premises on which three or more dogs, cats, or other household pets are either permanently or temporarily boarded. Any lot or premises where household pets are bred or sold.
Land division: As defined in the Land Division Act of the State of Michigan, being Act 288 of the Public Acts of 1967, as amended, MCL 560.101 et seq.
LARA: The Michigan Department of Licensing and Regulatory Affairs.
Licensee: An entity that holds a license issued under the Medical Marihuana Facilities Licensing Act, Act 281 of 2016, as amended, that allows the licensee to operate as one of the following, specified in the license:
(1)
A grower.
(2)
A processor.
(3)
A secure transporter.
(4)
A provisioning center.
(5)
A safety compliance facility.
Loading space: An off-street space on the same lot with a building or group of buildings for the temporary parking of a commercial vehicle while loading and unloading merchandise or materials.
Lot: A parcel of land which is or may be occupied wholly or in part by one principal building or use and its accessories, and having either immediate frontage upon a public street or a permanent, exclusive, non-obstructed deeded access to a public street.
Lot area: The total area within the lot boundaries.
Lot, corner: A lot where the interior angle of two adjacent sides at the intersection of two streets is less than 135 degrees. A lot abutting upon a curved street or streets shall be considered a corner lot for the purposes of this ordinance if the arc is of less radius than 150 feet and the tangents to the curve, at the two points where the lot lines meet the curve of the straight street line extended, from an interior angle of less than 135 degrees.
Lot coverage: That portion of a lot that is covered by a building or buildings expressed as a percentage of the total lot area.
Lot depth: The distance between the front and rear lot lines measured along the median between the side lot lines.
Lot, interior: Any lot other than a corner lot.
Lot lines: The lines bounding a lot as defined herein:
a.
Front lot line: The line separating a lot from the street right-of-way. For a through lot, the line separating a lot from either street right-of-way. For a corner lot, the line designated on the building plans filed for a zoning compliance permit.
b.
Rear lot line: That lot line opposite the front lot line. In the case of a lot pointed at the rear: The rear lot line shall be an imaginary line parallel to the front lot line; not less than ten feet long lying farthest from the front lot line; and wholly within the lot.
c.
Side lot line: Any lot line other than the front lot line or rear lot line. A side lot line separating a lot from another lot or lots is an interior lot line.
FIGURE 4
INTERIOR, THROUGH AND CORNER LOTS
Lot, through: Any interior lot having frontage on two streets.
Lot width: The distance between the side lot lines measured between the two points where the front setback line intersects the side lot lines.
Lot, zoning: A single tract of land located within a single block which, at the time of filing for a building permit, is designated by its owner or developer as a tract to be used, developed, or built upon as a unit under single ownership or control. A zoning lot shall satisfy this ordinance with respect to area, size, odimensions, and frontage as required in the district in which the zoning lot is located. A zoning lot, therefore, may not coincide with a lot of record as filed with the county register of deeds, but may include one or more lots of record.
Manufactured home/mobile home: A structure, transportable in one or more sections, which is built on a chassis and designed to be used as a dwelling with or without permanent foundation when connected to the required utilities. It contains the plumbing, heating, air-conditioning, or electrical systems in the structure. Mobile home does not include a recreation vehicle.
Marihuana: The term as defined in section 7106 of the Public Health Code, 1978 PA 368, MCL § 333.7106 et seq.; the Michigan Medical Marihuana Act, MCL § 333.26421 et seq.; the Medical Marihuana Facilities Licensing Act, MCL § 333.27101 et seq.; and the Marihuana Tracking Act, MCL § 333.27901 et seq.
Marina: A facility, including three or more waterfront boat slips, which provides for the servicing, storing, fueling, berthing, and/or securing of boats; and that may include eating, sleeping, and retail facilities intended primarily for the owners, crews, and guests of boat owners using the marina.
Master plan: The comprehensive, long-range master plan intended to guide growth and development in the City of Petoskey which includes recommendations on future land use, economic development, intergovernmental cooperation, housing, transportation, natural, cultural, and historic resources, and community facilities pursuant to the requirements of the Michigan Planning Enabling Act, Act 33 of the Public Acts of 2008, as amended.
Medical, dental clinic: See Clinic.
Medical marihuana facility: An enterprise at a specific location at which a licensee is licensed and a permit holder is permitted to operate under the Medical Marihuana Facilities Licensing Act. The term does not include or apply to a "primary caregiver" or "caregiver" as that term is defined in the Michigan Medical Marihuana Act, MCL § 333.26421 et seq.
Medical marihuana permit: A current and valid permit for a medical marihuana facility issued under the city's medical marihuana facilities ordinance, granted in accordance with that ordinance.
Mixed use development: A development of a tract of land, building, or structure with a variety of complementary and integrated uses as permitted by the applicable zoning district.
Mobile home park: A parcel or tract of land under the control of a person upon which three or more mobile homes are located on a continual, non-recreational basis and which is offered to the public for that purpose regardless of whether a charge is made therefore, together with any building, structure, enclosure, street, equipment, or facility used or intended for use incident to the occupancy of a mobile home (MCL 125.2302).
Mortuary or funeral home: A facility used for preparation of the deceased and used to conduct visitation, burial, memorial, and funeral services.
Motel: A building or group of buildings in which lodging is provided to transient guests, offered to the public for compensation, where access to and from each room or unit is through an exterior door, and the entire building or group of buildings is used solely for this function.
Multi-modal transportation: A connected transportation system that supports cars, bicycles, pedestrians, and public transit.
Municipality: The City of Petoskey, Michigan.
Nursery: A space, building, structure, or combination thereof, for the storage of live trees, shrubs, or plants offered for retail sale on the premises including products used for gardening or landscaping. The definition of nursery within the meaning of this ordinance does not include any space, building, or structure used for the sale of fruits, vegetables, or pre-cut Christmas trees.
Off-street parking lot: A facility providing more than three vehicular parking spaces with adequate drives and aisles for maneuvering and access for entering and exiting.
Open-air business: A permanent business including the sales and/or display of retail merchandise or services outside of a permanent structure.
Open space: That part of a lot, including courts or yards, which is open and unobstructed from its lowest level to the sky.
Parapet: That portion of a building wall that extends above the roof line.
Park or parkland: A tract of land maintained and used by the public for active and/or passive recreation and which is owned and controlled by a public entity or unit of government.
Parking space: An area of defined length and width that shall be accessible for the parking of a vehicle.
Patio: A level, landscaped, and/or surfaced area, directly adjacent to a building, at or within seven inches of the finished grade and not covered by a permanent roof.
Pergola: An open trellis-like overhead frame which may be free-standing or attached to a building.
Personal service business: An establishment primarily engaged in providing services involving the care of a person, or his or her goods or apparel.
Planned unit development: See PUD.
Pond, detention: A pond designed to temporarily detain storm water runoff for a short period of time, gradually releasing it to the natural watercourse immediately after the peak volume of storm water has dissipated.
Pond, retention: A pond designed and intended to hold water for a considerable length of time for aesthetic or consumptive purposes, as well as for the collection and holding of storm water runoff, the volume of which may never be totally discharged to a natural watercourse.
Porch: A horizontal surface consisting of a deck, slab, or other similar construction attached to a building and designed for outdoor seating or as a means of entry to the building. A porch is covered by a roof structure that is supported by pillars or other similar means and may be enclosed by windows, screens, or other similar methods.
Power generating facility: A facility designed and used for the production of electrical energy primarily for the purpose of commercial sale to wholesale and retail customers connected to an electrical transmission grid. Such facilities include geothermal, hydro, solar, wind, coal, diesel, fuel oil, nuclear, natural gas combustion, or incinerator.
Principal building: A building in which the principal use of the lot is located.
Principal use: The main use to which the premises is devoted and the predominant purpose for which the premises exists.
Private communications antenna: An accessory structure used for, or intended to be used for, reception of satellite or radio transmissions.
Private road: A road that is owned and maintained by a private property owner or owners and that provides access to two or more principal buildings/uses.
Professional service establishment: An establishment engaged in providing assistance (as opposed to product) to individuals, businesses, industries, governments, and other enterprises. Professional services include financial, legal, insurance, real estate, engineering, consulting, and other similar services (excluding medical offices or clinics).
Provisioning center: A licensee that is a commercial entity located in this state that purchases marihuana from a grower or processor and sells, supplies, or provides marihuana to registered qualifying patients, directly or through the patients' registered primary caregivers. Provisioning center includes any commercial property where marihuana is sold at retail to registered qualifying patients or registered primary caregivers. A noncommercial location used by a primary caregiver to assist a qualifying patient connected to the caregiver through the department's marihuana registration process in accordance with the Michigan Medical Marihuana Act (MCL § 333.26421 et seq.) is not a provisioning center for purposes of this ordinance.
Public and quasi-public uses: Parks, playgrounds, trails, paths, and other recreational areas and open spaces; scenic and historic sites; schools, and other buildings and structures; and other places where the public is directly or indirectly invited to visit or permitted to congregate, such as churches, municipal off-street parking lots, libraries, museums, schools, or hospitals.
Public assembly: Buildings, structures, and grounds, including theaters, churches, auditoriums, convention spaces, stadiums, sports arenas, concert halls, lecture halls, and other similar facilities intended for commercial or non-commercial entertainment, instruction, worship, or similar activities involving assembled groups of people.
Public utility: A person, firm, corporation, municipal department, board, or commission duly authorized to provide under federal, state or municipal regulations to the public: gas, steam, electricity, sewage disposal, communication, telegraph, transportation, or water.
PUD (planned unit development): A customized zoning district that allows flexibility in the regulation of land development and promotes mixed or varied uses guided by a comprehensive site plan.
PUD consolidated open space: An open space area in a planned unit development (PUD) that is a continuous and uninterrupted portion of the development that is set aside as an interior greenbelt for the enjoyment of the residents or other occupants of the planned unit development. This open space may follow natural features such as valleys, rivers, swales, wetlands, ponds, et cetera, or it may be simply an open area of vegetation that is reserved for passive recreation by the occupants or residents. Exterior setbacks for the planned unit development shall not be included in the determination of the area of this open space nor shall setback or lawn areas in yards for the residential buildings be included in the calculation of consolidated open space.
PUD exterior setbacks: The distance between a property line that is the outer limit of the PUD project, and the nearest point of any building wall.
PUD final rezoning plan (also called "final plan"): A detailed plan of the PUD project, drawn to scale which includes all of the preliminary plan as well as additional detailed information regarding building sizes, types and locations; physical arrangement of roads and other significant public utilities; drainage and environmental protection plans; identification of open spaces; location and type of landscape materials; signage plan; and other site plan information. The final plan must be detailed enough to meet the information display requirements of section 2503 and section 2504(6).
PUD major revisions: A revision to an approved preliminary or final PUD plan that requires formal planning commission review and approval. There shall be two categories of major revisions in the ordinance as described in article XXV, section 2504(7). Administrative major revisions, also known as site plan amendments, shall only require planning commission review. Legislative major revisions, also known as zoning amendments, shall require planning commission review at a public hearing after notification of the property owners within 300 feet of the proposed PUD zoning amendment, and said amendment must be adopted by the Petoskey City Council.
PUD minor revisions: A revision to an approved final PUD plan that does not alter the basic design or any specific conditions of the final PUD plan as agreed upon by the planning commission and/or city council. The minor revisions are subject to administrative review and approval by the designated city staff.
PUD preliminary rezoning plan (also called "preliminary plan"): An overall plan of the PUD project, drawn to scale and including sufficient detail to show land use types, area and density in the project area in a clear and concise manner. The preliminary plan must be detailed enough to meet the information display requirements of sections 2504(3) and (4), of this ordinance.
Recreation, outdoor: Leisure time activities, areas, and accessory structures designed primarily for recreational activity in the open air.
Recreational facility, commercial: A recreation facility operated as a business and open to the public for a fee.
Recreational vehicle or equipment: Vehicle or equipment used for travel and leisure activities including:
a.
Travel trailer: A vehicular, portable structure built on a chassis, designed to be used as a temporary dwelling for travel, recreational, and vacation uses; and which is permanently identified as a "travel trailer" by the manufacturer.
b.
Pickup camper: A structure designed primarily to be mounted on a pickup or truck chassis with sufficient equipment to render it suitable for use as a temporary dwelling for travel, recreational, and vacation uses.
c.
Motorized home: A portable dwelling designed and constructed as an integral part of a self-propelled vehicle.
d.
Folding tent trailer: A canvas or plastic folding structure, mounted on wheels, designed for travel and vacation use.
e.
Utility trailer: A vehicle designed for the purpose of hauling miscellaneous goods and materials.
f.
Boats and boat trailers: Includes boats, floats, rafts, canoes and kayaks; plus the normal equipment to transport them on the highway.
g.
Other recreational equipment: Includes snowmobiles, personal watercraft (e.g., jet skis), all terrain or special terrain vehicles, motorcycles, utility trailers, plus the normal equipment used to transport them on the highway.
Research and development: An establishment for carrying on investigation in the natural, physical, or social sciences, which may include engineering and process or product development, but which does not involve the mass manufacture, fabrication, processing, or sale of products or services.
Residential care and treatment facility: A residential structure with a state license to provide services, programs and temporary shelter for residents who are undergoing alcohol or substance abuse rehabilitation.
Retail business or retail sales: An establishment engaged in selling goods or merchandise to the general public for personal or household consumption and rendering services incidental to the sale of such goods.
Right-of-way: An area owned or maintained by the City of Petoskey, Emmet County, Emmet County Road Commission, State of Michigan, federal government, public utility, railroad, or private entity for the placement of utilities or facilities and for the passage of vehicles or pedestrians including roads, streets, pedestrian walkways, utilities, or railroads.
Roof pitch: The slope of the roof expressed as the relationship between vertical and horizontal measure, for example, three units of vertical rise for 12 units of horizontal shelter is expressed as "3:12."
Rooftop mechanical equipment: Any permanently installed device, structure, or equipment, located on a building roof, intended or used for heating, air conditioning, make-up air, dust collection, plumbing ventilation, exhaust, telecommunication, or other purposes associated with the occupancy of the building.
Room: For the purpose of determining lot area requirements and density in a multiple-family district, a room is a living room, dining room, or bedroom. Kitchens, sanitary facilities, utility provisions, closets, corridors, hallways, attics, basements, and storage areas are not considered rooms for this purpose. Plans showing one, two or three bedroom units that also include a den, library, or other extra room shall count such extra room as a bedroom for the purpose of computing density.
Satellite dish: A parabolic dish antenna, including its structural supports, used for reception of various television programming signals or used to transmit or receive other radio or electromagnetic waves between terrestrially or orbitally-based uses.
Screen/screening: A wall, wood fencing, or combination of plantings of sufficient height, length, and opacity to form a visual barrier.
Self-service storage facility: A structure containing separate, individual, and private storage spaces of varying sizes leased or rented individually for varying periods of time.
Sensitive area: An area not suitable or desirable for intense development due to environmental constraints or natural features. Sensitive areas include: floodplains, wetlands, lakes, rivers, streams, dunes, and shorelines; significant vegetation; slopes; and habitat for animal and plant species of concern.
Service drive: A minor public or private street or driveway which may be parallel to and adjacent to a major thoroughfare. A service drive provides access to abutting properties and controls access to the major thoroughfare.
Setback: The minimum horizontal distance measured at right angles from the front, side, or rear lot line to the vertical plane of the building wall.
Sexually or adult-oriented business: See definitions in article XXVIII of this ordinance.
Sheltered housing: A community service facility offering temporary refuge for persons in domestic transition, including their natural or adopted children, living together as a group of individuals in a single housekeeping unit.
Short-term rental (STR): A "short-term rental" is the making of occupancy available for any dwelling unit or portion thereof for a fee or other compensation for a term of less than 30 consecutive days, but not including bed and breakfast establishments, hotel rooms, motels, transitional housing operated by a non-profit entity, group homes such as nursing homes and adult foster care homes, and hospitals or other health care related facilities.
Sign: Any writing, pictorial representation, illustration, decoration, emblem, symbol, design, trademark, or figure that is a structure or a part of a structure; is written, printed, painted, projected, constructed, illuminated, or otherwise placed or displayed upon any structure, building, or parcel of land; attracts attention to the subject thereof; is used as a means of identification, advertisement, announcement, expression, or decoration; and is visible from a street, right-of-way, sidewalk, alley, park, or other public property.
Stoop: A small platform which may include an entrance stairway at a door opening.
Storage, motor vehicle: The parking or placement of operable new or used motor vehicles on display for sale, lease, or for private storage.
Storage, outside: The outdoor placement of usable and/or potentially usable goods or equipment (not including waste or scrap materials in junk yards).
Storage, wholesale and distribution: Activities and facilities for the storage of goods and the bulk sale and distribution of products. Examples include warehouses, freight-forwarding and delivery operations, and air courier services.
Storefront: A street level facade that has at least one street-level entrance on the primary front of the building.
Story: That part of a building included between the surface of one floor and the surface of the next floor, or if there is no floor above, then the ceiling next above. A basement is not included as a story (see Figure 5).
FIGURE 5
BASIC STRUCTURAL TERMS
Street: A public or private thoroughfare, used or intended to be used for passage or travel by motor vehicles. "Street" also includes the term "Road."
Street, alley: Any dedicated public way affording a secondary means of access to abutting property, and not intended for general traffic circulation.
Street, boulevard: A thoroughfare or collector that contains a median often landscaped with turf, trees, shrubs, or other landscape material.
Street, collector: A street that serves as a link between local and minor arterial streets (e.g., Howard Street, Kalamazoo Avenue, Lake Street, and Jennings Avenue).
Street, local: A street that primarily accesses individual properties and homes (e.g. Morgan Street, Grove Street, Summit Street, and Lockwood Avenue).
Street, minor arterial: A street with primary function to move traffic between principal arterials and local streets and between major parts of the city such as neighborhoods, employment and shopping. It also provides important roadway links into the city and to major activity areas and are considered secondary gateways (e.g., East Mitchell Street, Emmet Street, Sheridan Street, and Atkins Street).
Street, principal arterial: A road that generally carries long distance, through-travel and provides access to important traffic generators, such as employment centers and shopping areas. It is an important route through the city and is also a primary entrance or gateway from outlying areas (e.g., US 31 and US 131).
Street, private. A privately owned and maintained street serving two or more lots, parcels, buildings or dwellings, and constructed on a privately owned easement.
Street, public. An easement, right-of-way, or other interest that has been conveyed to and accepted by a governmental body for the purpose of providing access to abutting land.
Streetscape: The various components that make up the street, both in the right of way and on private lot frontages. Examples include pavement, parking spaces, planting areas, street trees, streetlights, sidewalks, front yards, front porches, and signs.
Structure: Anything constructed or erected, the use of which requires location on the ground or attachment to something having location on the ground.
Telecommunication antenna: A device used to transmit and/or receive radio-frequency signals, microwave signals, or other signals to or from other antennas or telecommunication facilities for commercial or municipal purposes.
Telecommunication tower: Any structure which is designed and constructed primarily for the purpose of supporting one or more antennas for telephone, radio, or other communication purposes. Such structures may be freestanding, such as self-supporting lattice, guyed, or monopole towers; or attached to an existing structure, such as artificial trees, steeples, light poles, poles supporting power lines, or similar mounting structures that effectively camouflage or minimize the visual impact of antennas and towers.
Temporary structure: A structure that lacks a permanent foundation for a use that is temporary.
Temporary use: A use of property that is not the principal use and has a limited duration, such as a special event.
Traffic impact study: An analysis of the effect of traffic generated by a development on the capacity, operations, and safety of the public street and highway system.
Use: The principal purpose for which land or a building is arranged, designed, or intended; or for which land or a building is or may be occupied.
Use, change of: Any alteration in the primary use of a lot for zoning purposes that may entail consideration of additional ordinance requirements.
Usable floor area: The area used for, or intended to be used for, the sale of merchandise or services; the area for serving patrons, clients, or customers; and the area devoted to employee workspace. Such floor area which is used, or intended to be used, principally for the storage of merchandise, hallways, elevator or stair bulkheads, utilities, or sanitary facilities shall be excluded from this computation of "usable floor area." Measurement of usable floor area shall be the horizontal areas of the floor(s) of the building, measured from the interior faces of the exterior walls (see Figure 6).
Variance: See section 2004(2) of this ordinance.
Vehicle and recreational vehicle sales area: An outdoor area used for the storage, display, sale, or rental of motor vehicles or recreational vehicles, new or used, in operable condition.
Vehicle charging station (electric vehicle): A device or station that provides power to charge the batteries of an electric vehicle.
Vehicle gasoline station: Any building, land area, or other premises, or portion thereof, used for retail sales and dispensing of vehicular fuels and/or convenience items to the general public.
FIGURE 6
USABLE FLOOR AREA
Vehicle repair, Major: An establishment engaged in the general repair, overhaul, or reconditioning of motor vehicles and recreational vehicles. Services include engine and transmission rebuilding; collision repair services, such as body, frame, or fender straightening and repair; major welding activities; and overall painting and undercoating of automobiles.
Vehicle repair, minor: An establishment engaged in the general mechanical repair and maintenance of passenger automobiles and trucks weighing less than 7,000 pounds. Services include muffler, suspension and brake repairs, upholstery repair, oil changes, general lubrication services, and tire services, but not including major automobile repairs.
Vehicle service establishment: A retail establishment engaged in light motor services such as: Changing engine oil, filters, and fluids; replacing spark plugs; and general lubrication services.
Vehicle wash: Any facility used for the commercial washing of motor vehicles.
View corridor: A line-of-sight corridor from a public activity area such as a pedestrian walkway, outdoor recreation area, outdoor eating/drinking facility, outdoor attraction, or similar area to Little Traverse Bay.
Viewshed: A visually attractive, aesthetic, or significant area, such as Little Traverse Bay, that is visible from a defined observation point.
Visible light transmittance: A measure of the amount of visible light that passes through the glazing material of a window, door, or skylight.
Vision triangle: The area at an intersection formed by extending a straight line 20 feet along the back of each curb from its radius spring point and connecting these two points (see Figure 8).
Yard: The open space (on the same lot with a main building) unoccupied and unobstructed from the ground upward except otherwise provided in this ordinance, and as defined herein (see Figure 7).
a.
Front yard: An open space extending the full width of the lot, the depth of which is the minimum horizontal distance between the front lot line and the nearest point of the main building.
b.
Rear yard: An open space extending the full width of the lot, the depth of which is the minimum horizontal distance between the rear lot line and the nearest point of the main building. In the case of a corner lot, the rear yard may be opposite either street frontage.
c.
Side yard: An open space between a main building and the side lot line; extending from the front yard to the rear yard; the width of which is the horizontal distance from the nearest point on the side lot line to the nearest point of the main building.
FIGURE 7
YARDS
Zoning compliance permit: A permit required when there is any building change of use or change in footprint including decks, accessory buildings, or temporary structures.
(Ord. No. 538, § 1, 2-1-1982; Ord. No. 542, § A, 5-3-1982; Ord. No. 558, § 1, 5-7-1984; Ord. No. 605, 7-20-1987; Ord. No. 632, §§ 1, 2, 10-21-1991; Ord. No. 732, § 3, 2-18-2013; Ord. No. 745, § 1, 5-19-2014; Ord. No. 758, § 4, 10-16-2017; Ord. No. 759, § 1, 2-19-2018; Ord. No. 770, 5-20-2019; Ord. No. 772, 10-7-2019; Ord. No. 794, §§ 1, 2, 12-4-2023; Ord. No. 798, §§ 1, 2, 1-20-2025; Ord. No. 802, § 1, 7-7-2025)