- ZONING DISTRICTS
In order to carry out the purposes and provisions of this zoning ordinance, the city shall be divided into the following zoning districts:
(1)
Urban Neighborhood Districts.
UN1 Urban Neighborhood District
UN2 Urban Neighborhood District
UN3 Urban Neighborhood District
(2)
Residential Mixed-Use Districts.
RM1 Residence Goods and Services District
RM2 Residence Office and Services District
RM3 Residence and Institutional District
(3)
Commercial Mixed-Use Districts.
CM1 Neighborhood Mixed-Use District
CM2 Corridor Mixed-Use District
CM3 Community Mixed-Use District
CM4 Destination Mixed-Use District
(4)
Downtown Districts.
DT1 Downtown Center District
DT2 Downtown Destination District
(5)
Production Districts.
PR1 Production Mixed-Use District
PR2 Production and Processing District
(6)
Transportation Districts.
TR1 Transportation District
(7)
Built Form Overlay Districts.
BFI1 Interior 1 Built Form Overlay District
BFI2 Interior 2 Built Form Overlay District
BFI3 Interior 3 Built Form Overlay District
BFC3 Corridor 3 Built Form Overlay District
BFC4 Corridor 4 Built Form Overlay District
BFC6 Corridor 6 Built Form Overlay District
BFT10 Transit 10 Built Form Overlay District
BFT15 Transit 15 Built Form Overlay District
BFT20 Transit 20 Built Form Overlay District
BFT30 Transit 30 Built Form Overlay District
BFC50 Core 50 Built Form Overlay District
BFPA Parks Built Form Overlay District
BFPR Production Built Form Overlay District
(8)
Overlay Districts.
HA Harmon Area Overlay District
UA University Area Overlay District
DH Downtown Housing Overlay District
DP Downtown Parking Overlay District
DS Downtown Shelter Overlay District
SZ Split Zoning Overlay District
TP Transitional Parking Overlay District
AP Airport Overlay District
SH Shoreland Overlay District
FP Floodplain Overlay District
MR Mississippi River Corridor Critical Area Overlay District
All property in the city shall be located within a primary zoning district and a built form overlay district. Primary zoning districts include the districts listed in section 530.10 (1) through (6) and are further described in this chapter. Built form overlay district include the districts listed in section 530.10 (7) and are further described with applicable regulations in Chapter 540, Built Form Overlay Districts. Other overlay districts include the districts listed in section 530.10 (8) and their descriptions and applicable regulations are found in Chapter 535, Overlay Districts.
Residence and office residence districts referenced in the city charter or elsewhere shall include all urban neighborhood districts and residential mixed-use districts. Commercial and industrial districts referenced in the city charter or elsewhere shall include all commercial mixed-use, downtown, production, and transportation districts.
(Ord. No. 2025-023, § 10, 5-15-2025)
The urban neighborhood districts are established to allow residential uses and small scale institutional and civic uses. Select commercial uses are allowed through the adaptive reuse of existing structures. Urban neighborhood districts are primarily distinguished by the types of residential uses allowed.
The UN1 Urban Neighborhood District allows predominantly small-scale residential uses.
The UN2 Urban Neighborhood District allows predominantly small to moderate-scale residential uses.
The UN3 Urban Neighborhood District allows predominantly moderate to large-scale residential uses near transit routes and METRO stations.
The residential mixed-use districts are established to provide an environment of mixed residential, office, and institutional and civic uses, with small-scale, lower-impact commercial uses intended to serve a local market.
The RM1 Residence Goods and Services District allows predominantly small to moderate-scale residential uses adjacent to goods and services corridors. In addition to uses allowed in the urban neighborhood districts, commercial uses are allowed in mixed-use buildings that include a residential use.
The RM2 Residence Office and Services District allows residential uses at a range of scales and low impact, small-scale commercial activity.
The RM3 Residence and Institutional District allows large-scale residential uses, large office uses, and major institutions.
(Ord. No. 2025-023, § 11, 5-15-2025)
The commercial mixed-use districts are established to provide a range of goods and services and to promote employment opportunities. In addition to commercial uses, residential, institutional, lower-impact production, and public services uses are allowed. The commercial mixed-use districts are distinguished primarily on the basis of allowed uses and commercial floor area limits.
Individual commercial uses shall be limited to a maximum gross floor area as outlined in Chapter 545, Use Regulations.
Individual commercial uses with greater than thirty thousand (30,000) square feet of first floor commercial gross floor area shall comply with the following standards for either facade and public realm enhancements or liner uses:
(1)
Facade and public realm enhancements. Required facade and public realm enhancements shall include the following:
a.
Multiple entrances. No fewer than one (1) principal entrance per twenty thousand (20,000) square feet of gross floor area shall be provided that logically conform to the building's structural bays, facilitating future division of the commercial space.
b.
Increased window area. Fifty (50) percent of the walls on the first floor that face a public street, public sidewalk, or public pathway shall be windows and shall otherwise conform to the window requirements in Chapter 550, Article V, Site Plan Review Standards.
(2)
Liner uses. Additional nonresidential spaces shall be incorporated that limit the first-floor street frontage of the large commercial use to no more than three hundred (300) feet or sixty (60) percent of the first-floor facade, whichever is greater. To meet this requirement, liner use spaces shall have a minimum interior depth of not less than twenty (20) feet.
The CM1 Neighborhood Mixed-Use District allows individual commercial uses and small collections of commercial uses that are typically small in scale and serve a local market.
The CM2 Corridor Mixed-Use District allows small, moderate, and large-scale commercial uses. Mixed-use multistory development is encouraged.
(a) Purpose. The CM3 Community Mixed-Use District allows large-scale mixed-use development with commercial uses fronting on major streets. Commercial spaces are typically smaller in order to generate pedestrian activity. Nonresidential uses that are accessible to the general public are required at the street level.
(b)
District standards. The following conditions govern uses in the CM3 District:
(1)
Required nonresidential uses. The first floor of all developments in the CM3 District shall provide nonresidential uses, subject to the requirements of this section. Existing developments in the CM3 District shall maintain compliance with the requirements of this section, or if legally nonconforming to any requirements in this section, shall not increase their nonconformity, except additions to any existing building that do not exceed twenty thousand (20,000) square feet shall be allowed without providing additional nonresidential space. Public parks, including buildings allowed in public parks, shall be exempt from the requirement to provide nonresidential uses.
(2)
Size of required nonresidential use space. Nonresidential use space shall be provided as required by subsection a. or b. below.
a.
Nonresidential use area complying with at least one (1) of the following three (3) standards:
1.
The nonresidential use area shall occupy at least sixty (60) percent of the building's ground-floor street frontage with a minimum interior depth of twenty (20) feet and shall occupy at least one thousand (1,000) square feet of floor area. Where the site has multiple street frontages, the required nonresidential use area shall be calculated based only on the goods and services corridor street frontage. If no goods and services corridor is present, the total amount of street frontage shall apply when calculating the required street frontage.
2.
The nonresidential use area shall occupy at least twenty (20) percent of the floor area of the building footprint or one thousand (1,000) square feet, whichever is greater.
3.
The nonresidential use area shall occupy at least five (5) percent of the gross floor area of the building or one thousand (1,000) square feet, whichever is greater.
b.
Nonresidential use area not less than ten thousand (10,000) square feet on a goods and services corridor or two thousand (2,000) square feet in other locations. Any amount of street frontage may be provided.
(3)
Use of required nonresidential space. Required nonresidential use areas shall be occupied by uses from one (1) or more of the following use groups, categories, or individual uses. Building amenities intended for use solely by building occupants and not open to the general public shall not qualify as a required nonresidential use.
a.
Commercial uses.
b.
Institutional and Civic uses.
c.
Production uses.
d.
Public Safety and Welfare uses.
(4)
Design of required nonresidential use area. Required nonresidential use space shall comply with the following design criteria.
a.
Public entrance. The nonresidential use area shall have a public entrance separate from other uses in the development that shall remain open and unlocked during its business hours.
b.
Street frontage. The nonresidential use area shall be oriented toward a goods and services corridor when present. Where a development has more than one (1) principal building, nonresidential use space shall be distributed among buildings fronting goods and services corridors.
c.
Additional nonresidential space. When a development provides nonresidential square footage beyond the minimum required, the additional square footage shall not be subject to the size and design requirements of this section and may be occupied by any use allowed in the zoning district.
(Ord. No. 2025-023, § 12, 5-15-2025)
(a) Purpose. The CM4 Destination Mixed-Use District includes multistory mixed-use development. Commercial retail uses are required at the street level of all development in this category to encourage pedestrian activity beyond the typical daytime business hours. Street-level use standards reflect the need to serve the most active commercial areas of the city.
(b)
District standards. The following conditions govern uses in the CM4 District:
(1)
Required commercial uses. The first floor of all developments in the CM4 District shall provide commercial uses, subject to the requirements of this section. Existing developments in the CM4 District shall maintain compliance with the requirements of this section, or if legally nonconforming to any requirements in this section, shall not increase their nonconformity, except additions to any existing building that do not exceed twenty thousand (20,000) square feet shall be allowed without providing additional commercial space. Public parks, including buildings allowed in public parks, shall be exempt from the requirement to provide commercial uses.
(2)
Size of required commercial use space. Commercial use space shall be provided as required by subsection a. or b. below.
a.
Commercial use area complying with at least one (1) of the following three (3) standards:
1.
The commercial use area shall occupy at least sixty (60) percent of the building's ground-floor street frontage with a minimum interior depth of twenty (20) feet and shall occupy at least one thousand (1,000) square feet of floor area. Where the site has multiple street frontages, the required commercial use area shall be calculated based only on the goods and services corridor street frontage. If no goods and services corridor is present, the total amount of street frontage shall apply when calculating the required street frontage.
2.
The commercial use area shall occupy at least twenty (20) percent of the floor area of the building footprint or one thousand (1,000) square feet, whichever is greater.
3.
The commercial use area shall occupy at least five (5) percent of the gross floor area of the building or one thousand (1,000) square feet, whichever is greater.
b.
Commercial use area not less than ten thousand (10,000) square feet on a goods and services corridor or two thousand (2,000) square feet in other locations. Any amount of street frontage may be provided.
(3)
Use of required commercial space. Required commercial use areas shall be occupied by uses from one or more of the following use categories or individual uses. Building amenities intended for use solely by building occupants and not open to the general public shall not qualify as a required commercial use.
a.
Brewery or distillery.
b.
Child care center.
c.
Commercial Agriculture uses.
d.
Commercial Recreation and Assembly uses.
e.
Food and Beverages uses.
f.
General Retail Sales and Services uses.
g.
Limited production and processing.
h.
Lodging uses.
i.
Public Safety and Welfare uses.
(4)
Design of required commercial use area. Required commercial use space shall comply with the following design criteria.
a.
Public entrance. The commercial use area shall have a public entrance separate from other uses in the development that shall remain open and unlocked during business hours.
b.
Street frontage. The commercial use space shall be oriented toward a goods and services corridor when present. Where a development has more than one (1) principal building, commercial space shall be distributed among buildings fronting goods and services corridors.
(5)
Operation of required commercial use area. Required commercial use space shall comply with the following operational criteria:
a.
Staffing. Uses shall be staffed with an employee or employees when open to the public.
b.
Hours of operation. Uses shall typically be open to the public most days of the week.
(6)
Additional commercial space. When a development provides commercial square footage beyond the minimum required, the additional square footage shall not be subject to the size and design requirements of this section and may be occupied by any use allowed in the zoning district.
(Ord. No. 2025-023, § 13, 5-15-2025)
The downtown districts are established to provide a range of retail, entertainment, office, employment, residential, institutional, and governmental activities of citywide and regional significance. The regulations recognize the unique qualities of downtown as the business and cultural center of the region, as a community of high-density residential choices, and as a place where the combined environment attracts businesses, workers, shoppers, visitors, tourists, and residents.
(a) Purpose. The DT1 Downtown Center District is established to provide an environment for retail and office activities of citywide and regional significance at the center of downtown. The district also allows entertainment, residential, and public uses, which complete the mixed-use core of the city.
(b)
District standards. The ground floor of principal and accessory parking garages shall be separated from any public sidewalk by a use or uses from the commercial, institutional and civic, production, and residential use groups. Approved vehicular and pedestrian access to the garage may be provided along a public sidewalk frontage.
(a) Purpose. The DT2 Downtown Destination District is established provide a downtown district where commercial uses are required at the street level of all development in this category to encourage pedestrian activity beyond the typical daytime business hours. Permitted uses reflect the need to serve the most active commercial areas of the city.
(b)
District standards. The following shall govern uses in the DT2 District:
(1)
Required commercial uses. The first floor of all developments in the DT2 District shall provide commercial uses, subject to the requirements of this section. Existing developments in the DT2 District shall maintain compliance with the requirements of this section, or if legally nonconforming to any requirements in this section, shall not increase their nonconformity, except additions to any existing building that do not exceed twenty thousand (20,000) square feet shall be allowed without providing additional commercial space. Public parks, including buildings allowed in public parks, shall be exempt from the requirement to provide commercial uses.
(2)
Size of required commercial use space. Commercial use space shall be provided as required by subsection a. or b. below.
a.
Commercial use area complying with at least one (1) of the following three (3) standards:
1.
The commercial use area shall occupy at least sixty (60) percent of the building's ground-floor street frontage with a minimum interior depth of twenty (20) feet and shall occupy at least one thousand (1,000) square feet of floor area. Where the site has multiple street frontages, the required commercial use area shall be calculated based only on the goods and services corridor street frontage. If no goods and services corridor is present, the total amount of street frontage shall apply when calculating the required street frontage.
2.
The commercial use area shall occupy at least twenty (20) percent of the floor area of the building footprint or one thousand (1,000) square feet, whichever is greater.
3.
The commercial use area shall occupy at least five (5) percent of the gross floor area of the building or one thousand (1,000) square feet, whichever is greater.
b.
Commercial use area not less than ten thousand (10,000) square feet on a goods and services corridor or two thousand (2,000) square feet in other locations. Any amount of street frontage may be provided.
(3)
Use of required commercial space. Required commercial use areas shall be occupied by uses from one (1) or more of the following use categories or individual uses. Building amenities intended for use solely by building occupants and not open to the general public shall not qualify as a required commercial use.
a.
Brewery or distillery.
b.
Child care center.
c.
Commercial Agriculture uses.
d.
Commercial Recreation and Assembly uses.
e.
Food and Beverages uses.
f.
General Retail Sales and Services uses.
g.
Limited production and processing.
h.
Lodging uses.
i.
Public Safety and Welfare uses.
(4)
Design of required commercial use area. Required commercial use space shall comply with the following design criteria.
a.
Public entrance. The commercial use area shall have a public entrance separate from other uses in the development that shall remain open and unlocked during business hours.
b.
Street frontage. The commercial use space shall be oriented toward a goods and services corridor when present. Where a development has more than one (1) principal building, commercial space shall be distributed among buildings fronting goods and services corridors.
(5)
Operation of required commercial use area. Required commercial use space shall comply with the following operational criteria.
a.
Staffing. Uses shall be staffed with an employee or employees when open to the public.
b.
Hours of operation. Uses shall typically be open to the public most days of the week.
(6)
Additional commercial space. When a development provides commercial square footage beyond the minimum required, the additional square footage shall not be subject to the size and design requirements of this section and may be occupied by any use allowed in the zoning district.
(7)
Parking garages. In addition to compliance with the required commercial use standard above, the ground floor of principal and accessory parking garages shall be separated from any public sidewalk by a use or uses from the commercial, institutional and civic, production, and residential use groups. Approved vehicular and pedestrian access to the garage may be provided along a public sidewalk frontage.
(Ord. No. 2025-023, § 14, 5-15-2025)
The production districts are established to provide locations for production and non-production uses with the primary purpose of creating opportunities for employment-focused development. In addition to production uses, commercial uses, institutional and civic uses and public services and utilities are allowed. The production districts are distinguished primarily on the basis of allowed uses, which accommodate more uses of an industrial nature than other zoning districts.
(Ord. No. 2025-023, § 15, 5-15-2025)
(a) Purpose. The PR1 Production Mixed-Use includes production, commercial, and warehousing and storage uses. Residential uses are allowed as part of mixed-use buildings that provide production space.
(b)
District standards. The following conditions govern uses in the PR1 District:
(1)
Required production area. When establishing twenty (20) or more residential units in the Production Mixed-Use District, an area shall be provided that supports employment or creative production. Required production space shall be subject to the standards of this section.
(2)
Size of required production use area. The required production area shall occupy or be equal in floor area to at least fifteen (15) percent of the first-floor area of all buildings that include residential uses located on the zoning lot. However, the required production area shall not be less than one thousand (1,000) square feet and shall not be required to exceed ten thousand (10,000) square feet. Required production space may be located within the same building as the residential use or in a separate building on the same site. Where a development has more than one (1) principal building with a residential use, the required production area for all buildings may be provided in one (1) building, provided that the building with the production area is constructed first in a phased development.
(3)
Use of required production area. Required production space shall be occupied by uses from one or more of the following use categories or individual uses:
a.
Catering.
b.
Educational arts center.
c.
Lower-impact production and processing uses.
(4)
Alternative permitted use of production space. By conditional use permit, use of the production space may be limited to residents of the building. In addition to the required findings for a conditional use permit, the city planning commission shall consider whether the features included in the space will facilitate creative production. Production spaces that are limited to use by residents of the building are also required to comply with the design standards in this article.
(5)
Design of required production space. Mitigation measures are encouraged to ensure that impacts of the production space do not create a nuisance for residents. Required production space is also subject to the following standard:
a.
Public entrance. The production space shall have a public entrance separate from other uses in the development.
b.
Customer area. Up to fifty (50) percent of the floor area of the required production space may be dedicated to retail sales and services, dining, art galleries, or other areas for customers.
(6)
Additional production space. When a development provides production space beyond the minimum required, the additional square footage shall not be subject to the size and design requirements of this section and may be occupied by any use allowed in the zoning district.
The PR2 Production and Processing District includes production uses and are designated with the intent of protecting them from encroaching non-production uses. Residential uses are not allowed.
The TR1 Transportation District is an industrial district that includes a limited number of uses that primarily support the movement of industrial and commercial goods and people.
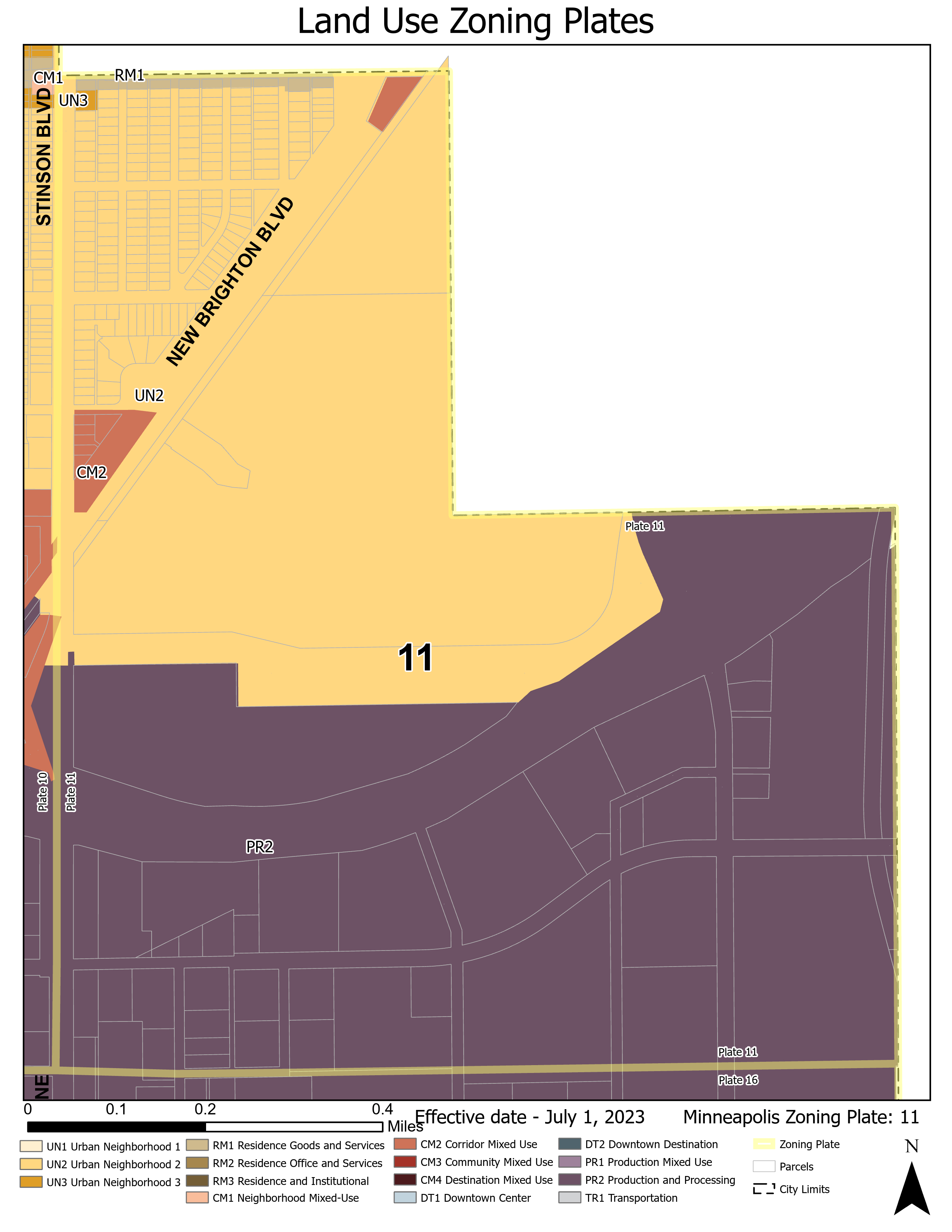
The locations and boundaries of the zoning districts established by this ordinance shall be set forth on the official zoning map, as maintained by the zoning administrator. The official zoning map is incorporated herein by reference. For convenience, copies of the zoning map, plates 1 through 40, are included in this chapter. In the event of a discrepancy between the plates and the official zoning map, the official zoning map shall control.
(1)
Zoning Plates Index Map.
(2)
Primary Zoning Plates.
(3)
Built Form Overlay Zoning Plates.
(4)
Overlay Zoning Plates.
(5)
Floodplain Overlay Zoning Plate.
(6)
Mississippi River Corridor Critical Area Zoning Plates.
- ZONING DISTRICTS
In order to carry out the purposes and provisions of this zoning ordinance, the city shall be divided into the following zoning districts:
(1)
Urban Neighborhood Districts.
UN1 Urban Neighborhood District
UN2 Urban Neighborhood District
UN3 Urban Neighborhood District
(2)
Residential Mixed-Use Districts.
RM1 Residence Goods and Services District
RM2 Residence Office and Services District
RM3 Residence and Institutional District
(3)
Commercial Mixed-Use Districts.
CM1 Neighborhood Mixed-Use District
CM2 Corridor Mixed-Use District
CM3 Community Mixed-Use District
CM4 Destination Mixed-Use District
(4)
Downtown Districts.
DT1 Downtown Center District
DT2 Downtown Destination District
(5)
Production Districts.
PR1 Production Mixed-Use District
PR2 Production and Processing District
(6)
Transportation Districts.
TR1 Transportation District
(7)
Built Form Overlay Districts.
BFI1 Interior 1 Built Form Overlay District
BFI2 Interior 2 Built Form Overlay District
BFI3 Interior 3 Built Form Overlay District
BFC3 Corridor 3 Built Form Overlay District
BFC4 Corridor 4 Built Form Overlay District
BFC6 Corridor 6 Built Form Overlay District
BFT10 Transit 10 Built Form Overlay District
BFT15 Transit 15 Built Form Overlay District
BFT20 Transit 20 Built Form Overlay District
BFT30 Transit 30 Built Form Overlay District
BFC50 Core 50 Built Form Overlay District
BFPA Parks Built Form Overlay District
BFPR Production Built Form Overlay District
(8)
Overlay Districts.
HA Harmon Area Overlay District
UA University Area Overlay District
DH Downtown Housing Overlay District
DP Downtown Parking Overlay District
DS Downtown Shelter Overlay District
SZ Split Zoning Overlay District
TP Transitional Parking Overlay District
AP Airport Overlay District
SH Shoreland Overlay District
FP Floodplain Overlay District
MR Mississippi River Corridor Critical Area Overlay District
All property in the city shall be located within a primary zoning district and a built form overlay district. Primary zoning districts include the districts listed in section 530.10 (1) through (6) and are further described in this chapter. Built form overlay district include the districts listed in section 530.10 (7) and are further described with applicable regulations in Chapter 540, Built Form Overlay Districts. Other overlay districts include the districts listed in section 530.10 (8) and their descriptions and applicable regulations are found in Chapter 535, Overlay Districts.
Residence and office residence districts referenced in the city charter or elsewhere shall include all urban neighborhood districts and residential mixed-use districts. Commercial and industrial districts referenced in the city charter or elsewhere shall include all commercial mixed-use, downtown, production, and transportation districts.
(Ord. No. 2025-023, § 10, 5-15-2025)
The urban neighborhood districts are established to allow residential uses and small scale institutional and civic uses. Select commercial uses are allowed through the adaptive reuse of existing structures. Urban neighborhood districts are primarily distinguished by the types of residential uses allowed.
The UN1 Urban Neighborhood District allows predominantly small-scale residential uses.
The UN2 Urban Neighborhood District allows predominantly small to moderate-scale residential uses.
The UN3 Urban Neighborhood District allows predominantly moderate to large-scale residential uses near transit routes and METRO stations.
The residential mixed-use districts are established to provide an environment of mixed residential, office, and institutional and civic uses, with small-scale, lower-impact commercial uses intended to serve a local market.
The RM1 Residence Goods and Services District allows predominantly small to moderate-scale residential uses adjacent to goods and services corridors. In addition to uses allowed in the urban neighborhood districts, commercial uses are allowed in mixed-use buildings that include a residential use.
The RM2 Residence Office and Services District allows residential uses at a range of scales and low impact, small-scale commercial activity.
The RM3 Residence and Institutional District allows large-scale residential uses, large office uses, and major institutions.
(Ord. No. 2025-023, § 11, 5-15-2025)
The commercial mixed-use districts are established to provide a range of goods and services and to promote employment opportunities. In addition to commercial uses, residential, institutional, lower-impact production, and public services uses are allowed. The commercial mixed-use districts are distinguished primarily on the basis of allowed uses and commercial floor area limits.
Individual commercial uses shall be limited to a maximum gross floor area as outlined in Chapter 545, Use Regulations.
Individual commercial uses with greater than thirty thousand (30,000) square feet of first floor commercial gross floor area shall comply with the following standards for either facade and public realm enhancements or liner uses:
(1)
Facade and public realm enhancements. Required facade and public realm enhancements shall include the following:
a.
Multiple entrances. No fewer than one (1) principal entrance per twenty thousand (20,000) square feet of gross floor area shall be provided that logically conform to the building's structural bays, facilitating future division of the commercial space.
b.
Increased window area. Fifty (50) percent of the walls on the first floor that face a public street, public sidewalk, or public pathway shall be windows and shall otherwise conform to the window requirements in Chapter 550, Article V, Site Plan Review Standards.
(2)
Liner uses. Additional nonresidential spaces shall be incorporated that limit the first-floor street frontage of the large commercial use to no more than three hundred (300) feet or sixty (60) percent of the first-floor facade, whichever is greater. To meet this requirement, liner use spaces shall have a minimum interior depth of not less than twenty (20) feet.
The CM1 Neighborhood Mixed-Use District allows individual commercial uses and small collections of commercial uses that are typically small in scale and serve a local market.
The CM2 Corridor Mixed-Use District allows small, moderate, and large-scale commercial uses. Mixed-use multistory development is encouraged.
(a) Purpose. The CM3 Community Mixed-Use District allows large-scale mixed-use development with commercial uses fronting on major streets. Commercial spaces are typically smaller in order to generate pedestrian activity. Nonresidential uses that are accessible to the general public are required at the street level.
(b)
District standards. The following conditions govern uses in the CM3 District:
(1)
Required nonresidential uses. The first floor of all developments in the CM3 District shall provide nonresidential uses, subject to the requirements of this section. Existing developments in the CM3 District shall maintain compliance with the requirements of this section, or if legally nonconforming to any requirements in this section, shall not increase their nonconformity, except additions to any existing building that do not exceed twenty thousand (20,000) square feet shall be allowed without providing additional nonresidential space. Public parks, including buildings allowed in public parks, shall be exempt from the requirement to provide nonresidential uses.
(2)
Size of required nonresidential use space. Nonresidential use space shall be provided as required by subsection a. or b. below.
a.
Nonresidential use area complying with at least one (1) of the following three (3) standards:
1.
The nonresidential use area shall occupy at least sixty (60) percent of the building's ground-floor street frontage with a minimum interior depth of twenty (20) feet and shall occupy at least one thousand (1,000) square feet of floor area. Where the site has multiple street frontages, the required nonresidential use area shall be calculated based only on the goods and services corridor street frontage. If no goods and services corridor is present, the total amount of street frontage shall apply when calculating the required street frontage.
2.
The nonresidential use area shall occupy at least twenty (20) percent of the floor area of the building footprint or one thousand (1,000) square feet, whichever is greater.
3.
The nonresidential use area shall occupy at least five (5) percent of the gross floor area of the building or one thousand (1,000) square feet, whichever is greater.
b.
Nonresidential use area not less than ten thousand (10,000) square feet on a goods and services corridor or two thousand (2,000) square feet in other locations. Any amount of street frontage may be provided.
(3)
Use of required nonresidential space. Required nonresidential use areas shall be occupied by uses from one (1) or more of the following use groups, categories, or individual uses. Building amenities intended for use solely by building occupants and not open to the general public shall not qualify as a required nonresidential use.
a.
Commercial uses.
b.
Institutional and Civic uses.
c.
Production uses.
d.
Public Safety and Welfare uses.
(4)
Design of required nonresidential use area. Required nonresidential use space shall comply with the following design criteria.
a.
Public entrance. The nonresidential use area shall have a public entrance separate from other uses in the development that shall remain open and unlocked during its business hours.
b.
Street frontage. The nonresidential use area shall be oriented toward a goods and services corridor when present. Where a development has more than one (1) principal building, nonresidential use space shall be distributed among buildings fronting goods and services corridors.
c.
Additional nonresidential space. When a development provides nonresidential square footage beyond the minimum required, the additional square footage shall not be subject to the size and design requirements of this section and may be occupied by any use allowed in the zoning district.
(Ord. No. 2025-023, § 12, 5-15-2025)
(a) Purpose. The CM4 Destination Mixed-Use District includes multistory mixed-use development. Commercial retail uses are required at the street level of all development in this category to encourage pedestrian activity beyond the typical daytime business hours. Street-level use standards reflect the need to serve the most active commercial areas of the city.
(b)
District standards. The following conditions govern uses in the CM4 District:
(1)
Required commercial uses. The first floor of all developments in the CM4 District shall provide commercial uses, subject to the requirements of this section. Existing developments in the CM4 District shall maintain compliance with the requirements of this section, or if legally nonconforming to any requirements in this section, shall not increase their nonconformity, except additions to any existing building that do not exceed twenty thousand (20,000) square feet shall be allowed without providing additional commercial space. Public parks, including buildings allowed in public parks, shall be exempt from the requirement to provide commercial uses.
(2)
Size of required commercial use space. Commercial use space shall be provided as required by subsection a. or b. below.
a.
Commercial use area complying with at least one (1) of the following three (3) standards:
1.
The commercial use area shall occupy at least sixty (60) percent of the building's ground-floor street frontage with a minimum interior depth of twenty (20) feet and shall occupy at least one thousand (1,000) square feet of floor area. Where the site has multiple street frontages, the required commercial use area shall be calculated based only on the goods and services corridor street frontage. If no goods and services corridor is present, the total amount of street frontage shall apply when calculating the required street frontage.
2.
The commercial use area shall occupy at least twenty (20) percent of the floor area of the building footprint or one thousand (1,000) square feet, whichever is greater.
3.
The commercial use area shall occupy at least five (5) percent of the gross floor area of the building or one thousand (1,000) square feet, whichever is greater.
b.
Commercial use area not less than ten thousand (10,000) square feet on a goods and services corridor or two thousand (2,000) square feet in other locations. Any amount of street frontage may be provided.
(3)
Use of required commercial space. Required commercial use areas shall be occupied by uses from one or more of the following use categories or individual uses. Building amenities intended for use solely by building occupants and not open to the general public shall not qualify as a required commercial use.
a.
Brewery or distillery.
b.
Child care center.
c.
Commercial Agriculture uses.
d.
Commercial Recreation and Assembly uses.
e.
Food and Beverages uses.
f.
General Retail Sales and Services uses.
g.
Limited production and processing.
h.
Lodging uses.
i.
Public Safety and Welfare uses.
(4)
Design of required commercial use area. Required commercial use space shall comply with the following design criteria.
a.
Public entrance. The commercial use area shall have a public entrance separate from other uses in the development that shall remain open and unlocked during business hours.
b.
Street frontage. The commercial use space shall be oriented toward a goods and services corridor when present. Where a development has more than one (1) principal building, commercial space shall be distributed among buildings fronting goods and services corridors.
(5)
Operation of required commercial use area. Required commercial use space shall comply with the following operational criteria:
a.
Staffing. Uses shall be staffed with an employee or employees when open to the public.
b.
Hours of operation. Uses shall typically be open to the public most days of the week.
(6)
Additional commercial space. When a development provides commercial square footage beyond the minimum required, the additional square footage shall not be subject to the size and design requirements of this section and may be occupied by any use allowed in the zoning district.
(Ord. No. 2025-023, § 13, 5-15-2025)
The downtown districts are established to provide a range of retail, entertainment, office, employment, residential, institutional, and governmental activities of citywide and regional significance. The regulations recognize the unique qualities of downtown as the business and cultural center of the region, as a community of high-density residential choices, and as a place where the combined environment attracts businesses, workers, shoppers, visitors, tourists, and residents.
(a) Purpose. The DT1 Downtown Center District is established to provide an environment for retail and office activities of citywide and regional significance at the center of downtown. The district also allows entertainment, residential, and public uses, which complete the mixed-use core of the city.
(b)
District standards. The ground floor of principal and accessory parking garages shall be separated from any public sidewalk by a use or uses from the commercial, institutional and civic, production, and residential use groups. Approved vehicular and pedestrian access to the garage may be provided along a public sidewalk frontage.
(a) Purpose. The DT2 Downtown Destination District is established provide a downtown district where commercial uses are required at the street level of all development in this category to encourage pedestrian activity beyond the typical daytime business hours. Permitted uses reflect the need to serve the most active commercial areas of the city.
(b)
District standards. The following shall govern uses in the DT2 District:
(1)
Required commercial uses. The first floor of all developments in the DT2 District shall provide commercial uses, subject to the requirements of this section. Existing developments in the DT2 District shall maintain compliance with the requirements of this section, or if legally nonconforming to any requirements in this section, shall not increase their nonconformity, except additions to any existing building that do not exceed twenty thousand (20,000) square feet shall be allowed without providing additional commercial space. Public parks, including buildings allowed in public parks, shall be exempt from the requirement to provide commercial uses.
(2)
Size of required commercial use space. Commercial use space shall be provided as required by subsection a. or b. below.
a.
Commercial use area complying with at least one (1) of the following three (3) standards:
1.
The commercial use area shall occupy at least sixty (60) percent of the building's ground-floor street frontage with a minimum interior depth of twenty (20) feet and shall occupy at least one thousand (1,000) square feet of floor area. Where the site has multiple street frontages, the required commercial use area shall be calculated based only on the goods and services corridor street frontage. If no goods and services corridor is present, the total amount of street frontage shall apply when calculating the required street frontage.
2.
The commercial use area shall occupy at least twenty (20) percent of the floor area of the building footprint or one thousand (1,000) square feet, whichever is greater.
3.
The commercial use area shall occupy at least five (5) percent of the gross floor area of the building or one thousand (1,000) square feet, whichever is greater.
b.
Commercial use area not less than ten thousand (10,000) square feet on a goods and services corridor or two thousand (2,000) square feet in other locations. Any amount of street frontage may be provided.
(3)
Use of required commercial space. Required commercial use areas shall be occupied by uses from one (1) or more of the following use categories or individual uses. Building amenities intended for use solely by building occupants and not open to the general public shall not qualify as a required commercial use.
a.
Brewery or distillery.
b.
Child care center.
c.
Commercial Agriculture uses.
d.
Commercial Recreation and Assembly uses.
e.
Food and Beverages uses.
f.
General Retail Sales and Services uses.
g.
Limited production and processing.
h.
Lodging uses.
i.
Public Safety and Welfare uses.
(4)
Design of required commercial use area. Required commercial use space shall comply with the following design criteria.
a.
Public entrance. The commercial use area shall have a public entrance separate from other uses in the development that shall remain open and unlocked during business hours.
b.
Street frontage. The commercial use space shall be oriented toward a goods and services corridor when present. Where a development has more than one (1) principal building, commercial space shall be distributed among buildings fronting goods and services corridors.
(5)
Operation of required commercial use area. Required commercial use space shall comply with the following operational criteria.
a.
Staffing. Uses shall be staffed with an employee or employees when open to the public.
b.
Hours of operation. Uses shall typically be open to the public most days of the week.
(6)
Additional commercial space. When a development provides commercial square footage beyond the minimum required, the additional square footage shall not be subject to the size and design requirements of this section and may be occupied by any use allowed in the zoning district.
(7)
Parking garages. In addition to compliance with the required commercial use standard above, the ground floor of principal and accessory parking garages shall be separated from any public sidewalk by a use or uses from the commercial, institutional and civic, production, and residential use groups. Approved vehicular and pedestrian access to the garage may be provided along a public sidewalk frontage.
(Ord. No. 2025-023, § 14, 5-15-2025)
The production districts are established to provide locations for production and non-production uses with the primary purpose of creating opportunities for employment-focused development. In addition to production uses, commercial uses, institutional and civic uses and public services and utilities are allowed. The production districts are distinguished primarily on the basis of allowed uses, which accommodate more uses of an industrial nature than other zoning districts.
(Ord. No. 2025-023, § 15, 5-15-2025)
(a) Purpose. The PR1 Production Mixed-Use includes production, commercial, and warehousing and storage uses. Residential uses are allowed as part of mixed-use buildings that provide production space.
(b)
District standards. The following conditions govern uses in the PR1 District:
(1)
Required production area. When establishing twenty (20) or more residential units in the Production Mixed-Use District, an area shall be provided that supports employment or creative production. Required production space shall be subject to the standards of this section.
(2)
Size of required production use area. The required production area shall occupy or be equal in floor area to at least fifteen (15) percent of the first-floor area of all buildings that include residential uses located on the zoning lot. However, the required production area shall not be less than one thousand (1,000) square feet and shall not be required to exceed ten thousand (10,000) square feet. Required production space may be located within the same building as the residential use or in a separate building on the same site. Where a development has more than one (1) principal building with a residential use, the required production area for all buildings may be provided in one (1) building, provided that the building with the production area is constructed first in a phased development.
(3)
Use of required production area. Required production space shall be occupied by uses from one or more of the following use categories or individual uses:
a.
Catering.
b.
Educational arts center.
c.
Lower-impact production and processing uses.
(4)
Alternative permitted use of production space. By conditional use permit, use of the production space may be limited to residents of the building. In addition to the required findings for a conditional use permit, the city planning commission shall consider whether the features included in the space will facilitate creative production. Production spaces that are limited to use by residents of the building are also required to comply with the design standards in this article.
(5)
Design of required production space. Mitigation measures are encouraged to ensure that impacts of the production space do not create a nuisance for residents. Required production space is also subject to the following standard:
a.
Public entrance. The production space shall have a public entrance separate from other uses in the development.
b.
Customer area. Up to fifty (50) percent of the floor area of the required production space may be dedicated to retail sales and services, dining, art galleries, or other areas for customers.
(6)
Additional production space. When a development provides production space beyond the minimum required, the additional square footage shall not be subject to the size and design requirements of this section and may be occupied by any use allowed in the zoning district.
The PR2 Production and Processing District includes production uses and are designated with the intent of protecting them from encroaching non-production uses. Residential uses are not allowed.
The TR1 Transportation District is an industrial district that includes a limited number of uses that primarily support the movement of industrial and commercial goods and people.
The locations and boundaries of the zoning districts established by this ordinance shall be set forth on the official zoning map, as maintained by the zoning administrator. The official zoning map is incorporated herein by reference. For convenience, copies of the zoning map, plates 1 through 40, are included in this chapter. In the event of a discrepancy between the plates and the official zoning map, the official zoning map shall control.
(1)
Zoning Plates Index Map.
(2)
Primary Zoning Plates.
(3)
Built Form Overlay Zoning Plates.
(4)
Overlay Zoning Plates.
(5)
Floodplain Overlay Zoning Plate.
(6)
Mississippi River Corridor Critical Area Zoning Plates.