2.- DEFINITIONS
This Article contains definitions for generic uses and general terms used throughout the Ordinance.
(Code 1993, § 20-2.1)
The language set forth in the text of this Ordinance is interpreted in accordance with the following rules of construction:
(a)
The singular number includes the plural, and the plural the singular.
(b)
The present tense includes the past and future tenses, and the future tense includes the present.
(c)
The words "must" and "shall" are mandatory, while the words "may" and "will" are permissive.
(d)
The terms "must not," "shall not" and "may not" are prohibiting.
(e)
The masculine gender includes the feminine and neuter.
(f)
Whenever a defined word or term appears in the text of this Ordinance, its meaning is construed as set forth in the definition. Any word appearing in parenthesis, between a word and its definition herein, is construed in the same sense as that word. Words not defined are interpreted in accordance with the definitions considered to be normal dictionary usage.
(g)
If a definition contains a regulation and the use is inconsistent with that regulation, the use is prohibited.
(Code 1993, § 20-2.2)
(a)
Certain terms in this Article are defined to be inclusive of many uses in order to eliminate overly detailed lists of uses in the zoning districts established by this Ordinance.
(b)
A use that is not specifically listed in a zoning district or does not fall within a use definition, or as interpreted pursuant to Section 30-5.8 (Zoning Interpretations), is prohibited.
(Code 1993, § 20-2.3)
Abut. To share a common lot line or zoning district boundary, without being separated by a street or alley.
Accessibility ramp. A ramp, exterior lift or similar structure that provides wheelchair or similar access to a building.
Accessory living unit. A subordinate dwelling unit created wholly within an existing detached single-family dwelling unit that provides basic requirements for living, sleeping, eating, cooking and sanitation, while the building maintains the appearance of a single-family home.
Accessory structure. A structure on the same lot as, and of a nature customarily incidental and subordinate to, a principal building, and the use of which is clearly incidental and subordinate to that of the principal building.
Accessory use. A use that is customarily incidental and subordinate to the principal use of a lot and located on the same lot as the principal use.
Acre. A parcel of land containing an area of forty-three thousand five hundred sixty (43,560) square feet.
Adaptive reuse senior housing/55+ development. A multi-family dwelling, occupancy of which is limited to persons fifty-five (55) years of age or older (or, if two persons occupy a unit, at least one (1) shall be fifty-five (55) years of age or older), using a structure previously occupied as a lawfully established or legal non-conforming institutional or adaptive reuse senior housing use.
Addition or expansion. Any of the following:
(a)
Any increase in the floor area of a building.
(b)
A modification to the roof line of a building, such as by the construction of dormer, so as to increase the amount of existing floor space devoted to human use or occupancy.
(c)
For special uses, addition or expansion shall be determined by reference to the date the special use was approved by the Village or the date of the Ordinance or amendment thereto which first reclassified an existing use as a special use.
Addition in line. An addition that extends the exterior wall of a structure, vertically and/or horizontally.
Adjoining. Abutting or contiguous.
Alley. A public right-of-way, other than a street, which affords a secondary means of vehicular access to abutting properties.
Alteration. Any change in the size, shape, character, occupancy or use of a structure.
Amateur (HAM) radio equipment. An amateur (HAM) radio station licensed by the Federal Communications Commission (FCC), including equipment such as, but not limited to, a tower or alternative tower structure supporting a single, radiating antenna platform and other equipment.
Animal hospital. An establishment for the care and treatment of the diseases and injuries of animals, and where animals may be boarded during their convalescence.
Architectural feature. A part, portion or projection that contributes to the aesthetics of a structure, exclusive of signs, that is not necessary for the structural integrity of the structure or to make said structure habitable.
Arbor. A shelter of latticework intertwined with climbing vines and flowers.
Art gallery. A commercial establishment engaged in the sale, loan and/or display of paintings, sculpture, video art or other works. "Art Gallery" does not include "Cultural Facility," such as a library, museum or non-commercial gallery that may also display paintings, sculpture, video art or other works.
Art studio. A commercial establishment where an art or type of activity is taught, practiced or studied, such as dance, martial arts, photography, music, painting, gymnastics, yoga, or personal training (private sessions only). An "Art Studio" may have performance space related to the classes taught on-site.
Arterial street. A street designated as an arterial street in the Comprehensive Plan.
Artificial turf. A surface of synthetic fibers made to look like natural grass that is used for sports or similar activities that originally or normally take place on grass and for residential and commercial lawns.
Attention getting device. Any pennants, flag, festoon, propeller, pole covers, spinner, streamer, searchlights, balloons, flashing lights, changing colors, rotating or moving displays and any similar device or ornamentation designated for the purposes of attracting attention, promoting or advertising.
Attic. A story or half-story directly below the roof of a building.
Awning. A roof-like cover projecting from the wall of a building and offering protection from sun or rain. For "Awnings" used as a sign, see "Sign, Awning."
Balcony. A platform which projects from the exterior wall of a building above the ground floor of the building, which is exposed to the open air, which has direct access to the interior of the building, and is not supported by posts or columns extending to the ground.
Banner. See "Sign, Banner."
Basement. That portion of a building located all or partly underground, but having at least one-half (1/2) or more of its clear floor-to-ceiling height below grade.
Bay window. A window which projects outward from a building, which does not rest on the building foundation or on the ground.
Beach house. A detached accessory structure on a property that abuts Lake Michigan, which typically maintains facilities for changing clothes, storing swimming equipment and supplies, and minimal sanitary facilities.
Berm. An earthen mound designed to provide visual interest on a site, screen undesirable views, reduce noise or fulfill other such purposes.
Block. A tract of land bounded by streets, or by a combination of streets and public parks, cemeteries, railroad rights-of-way, or similar lines of demarcation. A block may be located in part beyond the corporate limits of the Village.
Blockface. That portion of a block or tract of land facing the same side of a single street and lying between the closest intersecting streets, or between an intersecting street and railroad right-of-way or waterway.
Boarder. A person who rents lodging within part of a dwelling occupied by the person to whom the payments are made, with a minimum rental period of one (1) month.
Boat. Any device used or intended to be used for navigation on water.
Boat house. A detached accessory structure on a property that is contiguous to Lake Michigan designed to provide enclosed storage of boats and related equipment.
Bowling alley. Indoor facility for the sport of ten-pin or duck-pin bowling, with customary accessory uses such as snack bars.
Brew pub. An establishment where food is served and consumed and beer is manufactured and consumed. Food and beer shall be served by employees to the same table or counter where the items are consumed. The establishment shall not sell for off-premises consumption more than 50,000 gallons per year.
Broadcasting studio. A programming origination studio of a television station, radio station, or cable television franchisee of the Village.
Buffer yard. Land area with landscape plantings and other components used to visibly separate one (1) use from another or to shield or block noise, lights, or other nuisances.
Buildable lot. A lot on which a structure may be erected in conformity with zoning and building code requirements.
Building. Any structure with walls and roof securely affixed to the ground and entirely separated on all sides from any other structure by space or by walls in which there are no communicating doors, windows, or openings; and which is designed or intended for the shelter, enclosure, or protection of persons, animals, or chattels. This does not include any structure with interior areas not normally accessible for human use or occupancy, such as gas tanks, water tanks, and similar structures.
Building integrated photovoltaic solar energy system. An active solar energy system that is an integral part of a principal or accessory building, rather than a separate mechanical device, replacing or substituting for an architectural or structural component of a building. Building integrated systems include, but are not limited to, photovoltaic or hot water solar energy systems that are contained within roofing materials, windows, skylights and awnings. Thin film solar photovoltaic cells shall be considered building integrated when the thin film does not appreciably increase the width of the material it is being applied to.
Caliper. The American Association of Nurserymen standard for trunk measurement of nursery stock, as measured at six (6) inches above the ground for trees up to and including four (4) inch caliper size, and as measured at twelve (12) inches above the ground for larger sizes.
Canopy. A permanent roof-like structure, movable or stationary, which projects from the exterior wall of a building over a platform or walkway to offer protection from sun or rain. For a "Canopy" used as a sign see "Sign, Canopy."
Cannabis business establishment means a cultivation center, craft grower, processing organization, dispensing organization, infusers, or transporting organization.
Car-sharing Service. A membership organization that is open to the general public and provides access to car-sharing vehicles.
Car-sharing Space. A parking space that is designated for the parking of a car-sharing vehicle.
Car-sharing Vehicle. Any vehicle available to multiple users through a car-sharing service that is maintained and owned or leased by a car-sharing company.
Car wash. A commercial establishment engaged in the washing and cleaning of passenger vehicles, recreational vehicles or other light duty equipment, whether automatic or by hand, within an enclosed building. Self-service car washes are not allowed.
Carnival/circus. A traveling or transportable group or aggregation of rides, shows, games, or concessions or any combination thereof.
Cemetery. Land used or dedicated to the burial of the dead, including crematoriums, mausoleums, columbaria, and necessary maintenance facilities. Columbaria and memorial gardens accessory to a place of worship are allowed as accessory uses. Pet cemeteries are prohibited.
Certificate of occupancy. A certificate that permits the use and/or occupancy of a structure or portion of a structure after it is constructed, reconstructed, remodeled, or moved, indicating that the proposed occupancy or use complies with all provisions of the Zoning Ordinance.
Chimney. A vertical shaft of reinforced concrete, masonry or other approved material enclosing one (1) or more flues, for the purpose of removing products of combustion from solid, liquid or gaseous fuel.
Christmas tree sales lot. A retail sales operation, generally conducted wholly outdoors, that offers for sale on a temporary, limited basis Christmas trees and related holiday items such as wreaths and Christmas tree stands.
Collector street. A street designated as a collector street in the Comprehensive Plan.
Co-location. Placement of wireless telecommunications equipment from more than one (1) service or service provider on a single tower or site.
Columbaria. An accessory structure intended to be used for the internment of the cremated remains of a deceased person. "Columbaria" must be part of a "Place of Worship" and screened from a public street.
Commercial vehicle. Any vehicle operated for the transportation of persons or property in the furtherance of any commercial or industrial enterprise, for-hire or not-for-hire, but not including a commuter van, a vehicle used in a ridesharing arrangement when being used for that purpose, or a recreational vehicle not being used commercially.
Common ownership. Ownership by the same person, corporation, firm, entity, partnership, or unincorporated association; or ownership by different corporations, firms, partnerships, entities, or unincorporated associations, in which a stockholder, partner, or associate owns an interest in each corporation, firm, partnership, entity, or unincorporated association.
Contiguous. Adjoining or abutting.
Convenience food mart. A business, other than a restaurant, which sells food directly to the consumer and occupies a floor area of less than three thousand (3,000) square feet. "Convenience Food Mart" may be accessory to a gas station.
Craft brewery. An establishment where beer is manufactured. The establishment may include a tasting room where beer manufactured on-site is served. A craft brewery shall not sell for off-premises consumption more than 50,000 gallons per year.
Craft distillery. An establishment where spirits are distilled in limited quantities not to exceed 35,000 gallons per year. The establishment may include a tasting room where spirits manufactured on-site are served.
Craft grower means a facility operated by an organization or business that is licensed by the Department of Agriculture to cultivate, dry, cure, and package cannabis and perform other necessary activities to make cannabis available for sale at a dispensing organization or use at a processing organization. A craft grower may contain up to 5,000 square feet of canopy space on its premises for plants in the flowering state. The Department of Agriculture may authorize an increase or decrease of flowering stage cultivation space in increments of 3,000 square feet by rule based on market need, craft grower capacity, and the licensee's history of compliance or noncompliance, with a maximum space of 14,000 square feet for cultivating plants in the flowering stage, which must be cultivated in all stages of growth in an enclosed and secure area. A craft grower may share premises with a processing organization or a dispensing organization, or both, provided each licensee stores currency and cannabis or cannabis-infused products in a separate secured vault to which the other licensee does not have access or all licensees sharing a vault share more than 50 percent of the same ownership.
Cultivation center means a facility operated by an organization or business that is licensed by the Department of Agriculture to cultivate, process, transport (unless otherwise limited by this Act), and perform other necessary activities to provide cannabis and cannabis-infused products to cannabis business establishments.
Cultural facility. A use that is open to the public and provides cultural services and facilities including, but not limited to, museums, cultural centers, historical societies and libraries operated by a public, private or non-profit organization.
Day. When used in this Ordinance, "Day" shall mean one (1) calendar day.
Day care center, adult. A facility, not located within a residential dwelling unit, providing care for elderly adults sixty-five (65) years of age and over and/or functionally impaired adults eighteen (18) years of age and older who require assistance to carry out mobility, personal hygiene, and/or interpersonal relations basic to everyday living in a protective setting for less than twenty-four (24) hours per day. An "Adult Day Care Center" does not include "Day Care Home" or a program operated by a "Place of Worship," that provides care for elderly and/or functionally impaired adults in a protective setting for less than twenty-four (24) hours per day.
Day care center, child. A facility, not located within a residential dwelling unit, providing care for children up to twelve (12) years of age and/or functionally impaired persons up to eighteen (18) years of age in a protective setting for less than twenty-four (24) hours per day. A "Child Day Care Center" does not include "Day Care Home" or a program operated by an "Educational Facility" (all types) or "Place of Worship," that provides care for children for less than twenty-four (24) hours per day.
Day care home, adult. A detached dwelling in which a permanent occupant of the dwelling provides care for up to eight (8) elderly adults sixty-five (65) years of age and over and/or functionally impaired adults eighteen (18) years of age and older who require assistance to carry out mobility, personal hygiene, and interpersonal relations basic to everyday living in a protective setting for less than twenty-four (24) hours per day.
Day care home, child. A detached dwelling in which a permanent occupant of the dwelling provides care for up to twelve (12) children up to twelve (12) years of age and/or functionally impaired persons up to eighteen (18) years of age from outside households. The number counted includes the family's natural or adopted children and all other persons under the age of twelve (12).
Deck. A structure which is open to the sky and provides a platform that is raised above the ground but no higher than the floor of the street level of the principal building.
Dispensary means a facility operated by a dispensing organization at which activities licensed by this Act may occur.
Dispensing organization means a facility operated by an organization or business that is licensed by the Department of Financial and Professional Regulation to acquire cannabis from a cultivation center, craft grower, processing organization, or another dispensary for the purpose of selling or dispensing cannabis, cannabis-infused products, cannabis seeds, paraphernalia, or related supplies under this Act to purchasers or to qualified registered medical cannabis patients and caregivers. As used in this Act, dispensary organization shall include a registered medical cannabis organization as defined in the Compassionate Use of Medical Cannabis Pilot Program Act or its successor Act that has obtained an Early Approval Adult Use Dispensing Organization License.
Dog run. A designated area for the exercise and relief of dogs. The enclosure of all or a portion of a property paralleling a property line shall not constitute a dog run.
Donation box. A container used for the purpose of collecting donated items for resale or for use by a charitable organization or institution.
Donation drop-off facility. A storefront or building where the principal business is to accept material donations.
Dormer. An extension built out from a sloping roof to accommodate a vertical window.
Driveway. Any impervious or compacted gravel surface providing direct ingress to and egress from a parking space.
Drive-through facility. Premises used to provide or dispense products or services through an attendant, window or automated machine, to persons remaining in motor vehicles in a designated stacking space. A "Drive-Through Facility" may be used in combination with other uses, such as a "Financial Institution" or "Retail Goods Establishment."
Dwelling. Any structure, or portion thereof, designed or used exclusively for residential occupancy.
Dwelling, above the ground floor. Dwelling units within multi-story buildings located above non-residential uses on the ground floor.
Dwelling, multi-family. A building that contains three (3) or more dwelling units attached along and sharing one (1) or more common walls.
Dwelling, single-family. A building that contains one (1) dwelling unit and is developed with open yards on all sides and not attached to any other building or dwelling unit.
Dwelling, townhouse/stacked flat. A building that contains two (2) or more dwelling units which does not maintain the external appearance of a detached dwelling and is developed in accordance with Section 30-12.3.(i).
Dwelling, two-unit. A building that contains two (2) dwelling units located either side by side or stacked vertically, which maintains the external appearance of a detached dwelling with open yards on all sides and not being attached to any other building.
Dwelling unit. One (1) or more rooms constituting all or part of a dwelling, which are arranged, designed, used or intended for use exclusively as living quarters for one (1) household, which includes permanently installed bathroom and kitchen facilities.
Easement. Land designed by lawful agreement between the owner(s) of the land and another person(s) or entity(ies) for a specified use only by such person(s) or entity(ies).
Eave. The projecting lower edges of a roof overhanging the wall of a building.
Educational facility, college. A post-secondary institution for higher learning that grants associate or bachelor degrees. The institution may also have research facilities, and/or professional schools that grant master and doctoral degrees. Educational Facilities, College also includes post-secondary theological schools for training ministers, priests or rabbis. "Educational Facilities, College" do not include "Educational Facilities, Vocational."
Educational facility, primary. A public, private or parochial school offering instruction at the elementary and/or junior high school levels with a full range of curricular programs.
Educational facility, secondary. A public, private or parochial school offering instruction at the senior high school level with a full range of curricular programs. "Educational Facilities, Secondary" also includes secondary theological schools for training ministers, priests or rabbis.
Educational facility, vocational. A school established to provide for the teaching of industrial, clerical, managerial or artistic skills. This definition applies to schools that are owned and operated privately for-profit and do not offer a complete educational curriculum, but may offer certification in their particular field. "Educational Facilities, Vocational" does not include "Educational Facilities, College."
Electric Vehicle (EV). A vehicle that stores electric energy to be used for propulsion.
Electric Vehicle, Plugin (PEV). A vehicle that has a conductive plug or inductive wireless connection for recharging the battery.
Electric Vehicle Charging Station. A device to safely supply power to an electric vehicle.
Electric Vehicle Charging Space. A place where a vehicle may be parked to transfer electric energy to a battery or other energy storage device within that vehicle and any equipment necessary to transfer that energy.
Encroachment. The extension or placement of any structure, or portion of such, into a required yard.
Entity or person. An association, corporation, partnership, limited liability company, organization, proprietorship, trust or individual.
Erect. To build, construct, attach, hang, place, suspend or affix.
Established front yard - residential. See "Yard, Established Front - Residential."
Expressway. A permanent public right-of-way designated as an expressway in the Comprehensive Plan.
Exterior stairwell. One (1) or more flights of stairs and the necessary landings and platforms connecting them to form a continuous passage from the entryway of one (1) floor or level to another in a building or structure located on the exterior of a principle building.
Fall-out or emergency shelter. An accessory structure which incorporates the fundamentals for fall-out protection (shielding mass, ventilation, and living space), which is constructed of such materials and in such a manner as to afford the occupants substantial protection from radioactive fall-out, and which has no element projecting more than one (1) foot above the natural ground level.
Farmer's market/French market. The seasonal selling or offering for sale of home-grown vegetables or produce, occurring in a pre-designated area where the vendors are generally individuals who have raised the vegetables or produce or have taken the same on consignment for retail sale.
Fence. A free standing structure, including gates as needed, made of metal, masonry, wood or synthetic fiber or material, or any combination thereof, including gates, resting on or partially buried in the ground, rising above ground level, and used to delineate a boundary or as a barrier or means of protection, confinement, or screening. A fence that is installed atop or resting on a foundation rather than posts is considered a wall for purposes of this Ordinance.
Fence, open. A fence which has, over its entirety, fifty percent (50%) or more of its surface area as open, defined as allowing a direct view through the fence from eye level at a position perpendicular to the fence.
Fence, solid. A fence which has, over its entirety, less than fifty percent (50%) of its surface area as open, defined as allowing a direct view through the fence from eye level at a position perpendicular to the fence.
Financial institution. A bank, savings and loan, credit union or mortgage office.
Floor area. The floor area within the enclosing walls and under any covered areas of any building. For the purpose of determining the floor area of the principal building and all accessory buildings and structures on the lot, floor area shall mean the sum of the gross horizontal area of the several floors of a building, measured from the exterior faces of the exterior walls, or from the center line of party walls, as described in Section 30-2.5.
Floor area ratio. The numerical value obtained by dividing the aggregate floor area on a lot by the area of such lot. The floor area ratio designated for each zoning district, when multiplied by the lot area in square feet, shall determine the maximum permissible square footage of floor area for the building on such lot.
Foot-candle. A unit of illumination. It is equivalent to the illumination at all points that are one (1) foot distant from uniform source of one (1) candlepower.
Frequency. The term "frequency" signifies the number of oscillations per second in a sound wave and is an index of the pitch of the resulting sound.
Funeral home. A building used for the preparation of the deceased for burial display of the deceased and rituals before burial or cremation. A "Funeral Home" includes chapels located within the building used for the display of the deceased and the conducting of rituals before burial or cremation.
Garage. A structure, either attached to or detached from a principal building, used or designed to be used for storage of motor vehicles and accessory storage related to the use of the principal building.
Garage and yard sales. A temporary sale of goods from a residential premise, conducted on an infrequent and unscheduled basis, for the purpose of disposing of personal property.
Garden center. Retail business whose principal activity is the selling of plants, which may be grown on the site, and other gardening equipment and supplies, typically having outside storage, growing or display.
Gas station. A business where flammable or combustible liquids or gases used as fuel for motor vehicles are stored and dispersed from fixed equipment into the fuel tanks of motor vehicles. "Gas Station" may also include charging stations for electronic vehicles and a car wash as an accessory use.
Gazebo. A detached accessory structure that is roofed and open-sided in design for recreational use and not for habitation.
Glare. Illumination, or a contrast between illumination and its background, which results in reduced visual performance and visibility or which results in a sensation of visual discomfort caused by high or non-uniform distribution of brightness in the field of view.
Golf course. A tract of land laid out with at least nine (9) holes for playing a game of golf and improved with tees, greens, fairways, and hazards. A golf course may include a clubhouse, restrooms and shelters as accessory uses. A driving range may be included as part of a "Golf Course."
Government facility. A building owned, operated and/or occupied by a governmental agency to provide a governmental service to the public. "Government Facility" does not include "Public Safety Facilities," "Engineering and Public Works Facilities" and "Recreation Centers."
Grade, adjacent. The existing grade at the point of installation of a fence, sign or other referenced accessory structure.
Grade, average abutting. The computed average of the existing elevations of the surrounding ground abutting the structure as measured at every one (1) foot of the perimeter of the structure.
Grade, calculated. The computed average of the existing elevations as measured at the side property lines at the required front yard setback line.
Grade, existing. The pre-construction elevation of the ground contour or as determined by the Village Engineer.
Greenhouse. A structure constructed chiefly of glass, glasslike or translucent material, cloth or lath, which is devoted to the protection or cultivation of flowers or other tender plants.
Gross leasable area. The total floor area designed for occupancy and exclusive use by tenants, including areas used for storage. The area of tenant occupancy is measured from the centerlines of joint partitions to the outside of the tenant walls.
Ground floor. The first floor of a building generally located at grade or up to five (5) feet above or below grade and accessed directly from the street or parking lot.
Group home. A detached dwelling occupied by two (2) to five (5) persons, certified or accredited by the appropriate state or federal agencies, and:
(1)
That function as a single housekeeping unit for the housing of persons with functional disabilities who share responsibilities, meals, recreation, social activities and other aspects of residential living; or
(2)
That function as a single housekeeping unit for enrolled students of the same educational facility who share responsibilities, meals, recreation, social activities and other aspects of residential living.
Group Home does not include a residence that services persons as an alternative to incarceration for a criminal offense or a nursing facility.
Group Home 6-8. A detached dwelling occupied by six (6) to eight (8) persons, certified or accredited by the appropriate state or federal agencies, and:
(1)
That function as a single housekeeping unit for the housing of persons with functional disabilities who share responsibilities, meals, recreation, social activities and other aspects of residential living; or
(2)
That function as a single housekeeping unit for enrolled students of the same educational facility who share responsibilities, meals, recreation, social activities and other aspects of residential living.
Group Home does not include a residence that services persons as an alternative to incarceration for a criminal offense or a nursing facility.
Health club. A recreational facility containing athletic or physical conditioning equipment, racquet courts, and/or a swimming pool, which is operated on a private membership basis and restricted to use by members and their guests.
Heavy retail, rental and service. A business that provides for on-site use, storage, or sale of heavy equipment or construction materials, including building materials suppliers, lumberyards, construction yards, metal shops, and welding shops. "Heavy Retail, Rental and Service" does not include junkyards.
Hedge. A row of closely planted shrubs, bushes or any kind of plant forming a boundary or fence.
Height. The vertical distance from grade to the highest point of the roof of a building or the highest point of a structure as measured in Section 30-2.5.
Home occupation. An occupation or profession which involves the rendering of a service in exchange for monetary fees or other remuneration, is conducted wholly within a dwelling unit by a member of the family residing therein, and is clearly incidental and secondary to the use of the dwelling unit for residential purposes.
Hotel/motel. An establishment providing, for a fee, sleeping accommodations and customary lodging services, including maid service, the furnishing and upkeep of furniture and bed linens, and telephone and desk service. Related ancillary uses may include, but shall not be limited to, conference and meeting rooms, restaurants, bars, and recreational facilities.
Household. Individuals living together on the premises as a single housekeeping unit.
Impervious surface. A measure of intensity of land use that represents the portion of a site that is occupied by buildings, structures, pavement, and other improved surfaces. This includes any surface, whether considered by industry standard to be permeable, if such surface requires routine maintenance to maintain the permeability of the surface.
Incombustible. A material that will not ignite during an exposure to a temperature of one thousand two hundred degrees Fahrenheit (1,200°F) for five (5) minutes.
Indoor amusement facilities. Spectator and participatory uses conducted within an enclosed building, such as movie theaters, bowling alleys, pool halls, arcades and indoor sporting exhibitions. Indoor amusement facilities may include accessory uses, such as snack bars or restaurants, for the use of patrons.
Infuser organization or infuser means a facility operated by an organization or business that is licensed by the Department of Agriculture to directly incorporate cannabis or cannabis concentrate into a product formulation to produce a cannabis-infused product.
Intentional demolition. Any act or process that intentionally dismantles or removes a building or structure in part or in whole.
Kennel. An establishment where pet animals owned by another person are temporarily boarded for pay or remuneration of any sort. "Kennel" includes those facilities where pet animals are boarded for the day and/or overnight. "Kennel" does not apply to animal hospitals operated by veterinarians duly licensed under the law where the boarding of animals is accessory to medical treatment or convalescence after medical treatment of an animal.
Knee wall. That portion of the attic framing as measured from the top of the attic floor joist to the top of the joint where the wall framing meets the roof rafter.
Lighting, fully shielded. A fixture that is shielded in such a manner that light rays emitted by the fixture, either directly from the lamp or indirectly from the fixture, are projected below a horizontal plane running through the lowest point on the fixture where light is emitted.
Lighting, unshielded. A fixture that allows light, either directly from the lamp or indirectly from the fixture or a reflector, to be emitted above the horizontal plane running through the lowest point on the fixture where light is emitted.
Live performance venue. A facility that accommodates the live performance of musical, theatrical, dance, cabaret, or comedy acts performed live by one (1) or more persons. "Restaurants" that regularly host such performances shall be considered "Live Performance Venues." A "Live Performance Venue" may possess a liquor license and may provide food for consumption on the premises. Residences used to accommodate live performances for more than ten (10) persons (including performers) for any form of remuneration, including donations in kind or in money, are considered live performance venues subject to the provision of a temporary use permit.
Loading berth. A space exclusive of driveways, aisles, maneuvering areas, ramps, columns, landscaping areas, office, and work areas for the temporary parking of a commercial vehicle while loading or unloading goods or materials, and which abuts upon a street, alley, or other appropriate means of access.
Logo. A business trademark or symbol.
Lot. A parcel or tract of land located within a single block, occupied, or intended for occupancy, by one (1) principal building or principal use, and having frontage upon a street.
Lot area. The computed area of the zoning lot contained within the lot lines as described in Section 30-2.5.
Lot, corner. A lot situated at the junction of and abutting two (2) or more intersecting streets, and where the interior angle at the intersection of such two (2) sides is less than one hundred thirty-five (135) degrees. The point of intersection of the lot lines abutting the street is the corner of the lot in question. A lot that abuts a curved street or streets shall be considered a "Corner Lot" if the tangents to the curve at the curve's point of beginning between the side lot lines, or at the points of intersection of the side lot lines with the lot line abutting the street, intersect at an interior angle of less than one hundred thirty-five (135) degrees. In such cases, the corner of the lot in question is that point on the lot line abutting a street nearest to the point of intersection of the tangents above described.
Lot coverage. The area of a lot that is covered by any structure, including accessory structures, as described in Section 30-2.5.
Lot depth. The mean of the length of the two (2) side lot lines or, where the lot has more than two (2) side lot lines, the length of the longest line which is perpendicular to the front lot line and runs to the rear lot line as measured in Section 30-2.5.
Lot, double-frontage. A lot which has a pair of opposite lot lines along two (2) approximately parallel streets, and which is not a corner lot.
Lot, interior. A lot other than a corner lot or double-frontage lot.
Lot line. A property boundary line of any lot. Where any portion of the lot extends into an abutting street or alley, the lot line is the established or existing street or alley right-of-way line.
Lot line, front. The lot line which abuts the street line provided that:
(a)
Except as provided in Paragraph (c), on a corner lot, the lot line having the shortest dimension adjoining a street.
(b)
Except as provided in Paragraph (c), on a double-frontage lot, the lot line along the street which is designated as such by the Zoning Administrator, except that where an established front yard exists, a vacant double-frontage lot in the block must have its front lot line along the same street as the developed lots on the block.
(c)
On either a double-frontage lot or a corner lot located in the GC-1, GC-2, NR, NR-1, OR, PCD-2, PCD-3 or VC Districts, the following apply:
(1)
The lot line that adjoins an arterial or collector street.
(2)
If the lot adjoins more than one (1) arterial or collector street, then the lot line opposite from and most nearly parallel to the lot line that adjoins an alley. Where the lot adjoins both an arterial and collector street, the higher level street controls.
(3)
If no lot line adjoins an arterial or collector street, then the lot line opposite from and most nearly parallel to the lot line that adjoins an alley.
(4)
If the above situations do not apply, then the front lot line will adjoin the same street that adjoins the front lot lines of the majority of other developed lots in that block, to be verified by the Zoning Administrator.
Lot line, interior side. The lot line that is not abutting a street and is not a rear lot line.
Lot line, rear. The lot line which is most distant from and most nearly parallel to the front lot line, or in the case of an irregular or triangular lot or a property with a rear lot is the ordinary high water mark of a body of water, the rear lot line is as shown in Section 30-2.5.
Lot line, side. A lot line that is not a front lot line or a rear lot line, which may be an "Interior Side Lot Line" or "Side Adjoining a Street Lot Line."
Lot line, side adjoining a street. The lot line that is perpendicular or approximately perpendicular to the front lot line, which separates the longest street frontage of a corner lot from the street.
Lot of record. A lot that is part of a subdivision, the map of which was recorded in the office of the Recorder of Deeds of Cook County prior to the effective date of this Ordinance, and which met all lot dimension requirements in effect at the time of recording. A lot described by metes and bounds, the description of which has been recorded in the office of the Recorder of Deeds or in the office of the Registrar of Titles of Cook County prior to the effective date of this Ordinance, and which met all lot dimension requirements in effect at the time of recording.
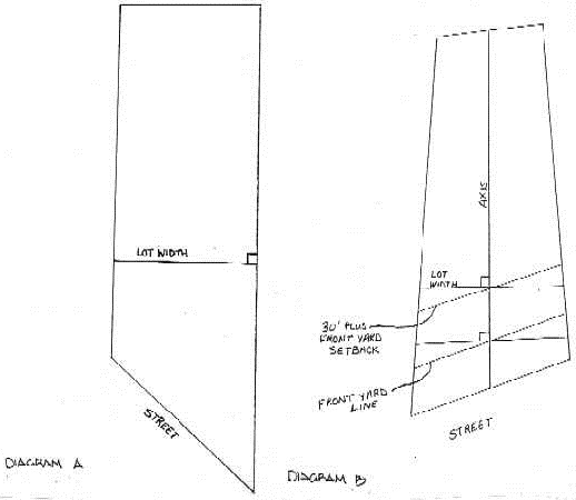
Lot width. Lot Width is determined as shown in Section 30-2.5.
Luminaire. A complete lighting unit extending from a support structure, parallel to the ground, consisting of a light source and all necessary mechanical, electrical and decorative parts. A "Luminaire" does not include a pole or other support.
Manufacturing, general. An establishment that produces items from previously prepared materials of finished products or parts, including processing, fabrication, assembly, treatment, and packaging of such products, and incidental storage, sales, and distribution of such products, provided all activities are contained entirely within a structure, and noise, odor, smoke, heat, glare, and vibration resulting from the manufacturing activity are confined entirely within a structure.
Marquee. A permanent roof-like structure that extends from the wall of a building and is constructed of durable material such as metal or glass, but not supported from the ground.
Medical cannabis cultivation center. A facility operated by an organization or business that is registered by the Department of Financial and Professional Regulation to cultivate medical cannabis in accordance with the Compassionate Use of Medical Cannabis Pilot Program Act, or similar act of the General Assembly, provided that Medical Cannabis Cultivation Centers shall not be located within two thousand five hundred (2,500) feet of the property line of a pre-existing public or private preschool or elementary or secondary school or day care center, day care home, group day care home, part day child care facility, or an area zoned for residential use.
Medical cannabis dispensing organization. A facility operated by an organization or business that is registered by the Department of Financial and Professional Regulation to acquire medical cannabis from a registered cultivation center for the purpose of dispensing cannabis, paraphernalia or related supplies and educational materials to registered qualifying patients in accordance with the Compassionate Use of Medical Cannabis Pilot Program Act, or similar act of the General Assembly.
Medical/dental clinic - large. A facility, occupied by physicians, dentists, chiropractors or other licensed practitioners of the healing arts for the examination and treatment of persons solely on an outpatient basis, larger than 2,000 square feet in gross floor area. "Medical Clinics" also include alternative medicine clinics, such as acupuncture, and physical therapy offices.
Medical/dental clinic - small. A facility, occupied by physicians, dentists, chiropractors or other licensed practitioners of the healing arts for the examination and treatment of persons solely on an outpatient basis, not to exceed 2,000 square feet in gross floor area. "Medical Clinics" also include alternative medicine clinics, such as acupuncture, and physical therapy offices.
Memorial plaque. A sign, tablet, or plaque memorializing a person, event, structure, or site.
Motor vehicle dealership. Any business establishment that sells or leases new or used automobiles, trucks, vans, trailers, recreational vehicles, boats, motorcycles, or other similar motorized transportation vehicles. An automobile dealership may maintain an inventory of the vehicles for sale or lease either on-site or at a nearby location, and may provide on-site facilities for the repair and service of the vehicles sold or leased by the dealership.
Motor vehicle operations facility. A privately-owned facility for the dispatch, storage and maintenance of emergency medical care vehicles, taxicabs and other livery vehicles. "Motor Vehicle Operations Facility" does not include facilities where the vehicles of the fire, police or other municipal departments are dispatched, stored and/or maintained, which are considered "Public Safety Facilities."
Motor vehicle rental establishment. An establishment for the rental of automobiles, light trucks and vans, motorcycles and recreational vehicles, including incidental parking and servicing of rental vehicles.
Motor vehicle service and repair, major. Such use includes, but is not be limited to, establishments involved in engine rebuilding, major reconditioning of worn or damaged motor vehicles or trailers, towing and collision service, including body, frame or fender straightening or repair, and painting of motor vehicles.
Motor vehicle service and repair, minor. Such use includes, but is not limited to, minor repairs to motor vehicles, including repair or replacement of cooling, electrical, fuel and exhaust systems, brake adjustments, relining and repairs, wheel servicing, alignment and balancing, repair and replacement of shock absorbers, and replacement or adjustment of mufflers and tail pipes, hoses, belts, light bulbs, fuses, windshield wipers/wiper blades, grease retainers, wheel bearings, and the like.
Movie theater. A theater designed for showing movies or motion pictures.
Multi-tenant commercial structure. A structure or group of structures containing three (3) or more commercial uses constructed on a parcel of land under unified ownership or control, and/or planned and developed with unified building design and coordinated parking and service areas.
Nameplate. A sign indicating the name and address of the person or persons occupying the lot or a part of the building.
No-access strip. A strip of land which lies within and along the rear lot line of a double-frontage lot and which adjoins a street which is designated on a recorded subdivision plat or deed of conveyance as land over which motor vehicle travel is not permitted.
Non-conforming lot. A lot of record that does not meet the lot area or lot width requirements of this Ordinance for the zoning district in which it is located.
Non-conforming structure. A structure that was lawfully established prior to and existing on the effective date of this Ordinance, or any amendment hereto, that has been rendered non-conforming and does not conform to the requirements of this Ordinance for the zoning district in which it is located.
Non-conforming use. A use that was lawfully established prior to and being conducted on the effective date of this Ordinance, or any amendment hereto, that has been rendered non-conforming and does not conform to the requirements of this Ordinance for the zoning district in which it is located. This does not include a lawful permitted use or lawful special use.
Office. A use that engages in the processing, manipulation or application of business information or professional expertise. An "Office" may or may not offer services to the public. An "Office" is not materially involved in fabricating, assembling or warehousing physical products for the retail or wholesale market, nor is an office engaged in the repair of products or retail services. It is characteristic of an "Office" that retail or wholesale goods are not shown on the premises to a customer. Examples include, but are not limited to, professional offices for non-profit organizations, advertising, accounting, investment services, insurance, contracting, architecture, planning, engineering, legal services and real estate services. "Office" does not include "Financial Institution" or "Government Facility."
Off-premises sign. A sign that advertises a business, service or product but is not located on the premises where the business or service is located or the product is available for sale.
Outdoor dining. A seating area located outdoors of a contiguous restaurant, usually in addition to an indoor seating area.
Outdoor display and sales area. Part of a lot used for outdoor sales and/or display of goods accessory to the principal use.
Outdoor fireplace. An accessory structure designed to contain a fire for heating and/or cooking.
Outdoor kitchenette. A complete cooking facility located outdoors typically involving a sink, stove or similar cooking range appliance, and a food preparation counter.
Outdoor lighting. Any artificial light source that is installed or mounted outside of a building, but not including street lights installed or maintained by the Village along public streets.
Outdoor storage. The keeping of any goods, material, merchandise or equipment not within an enclosed building, including incidental maintenance and repair of the material that is being stored.
Owner. The titleholder of record or, if title is held in a land trust, the beneficiary of the trust.
Park/playground. A facility designed to serve the recreation needs of the residents of the community. "Parks" include, but are not limited to, ballfields, football fields, soccer fields, basketball courts, tennis courts, paddle tennis facilities, playgrounds and accessory park district structures that may have indoor recreation facilities whether owned and/or managed by local government, not for profit groups or privately.
Parking lot - principal use. An open, hard-surfaced area, other than street or public way, available to the public, to be used for the storage, for limited periods of time, of operable passenger automobiles and commercial vehicles. Such storage may be for compensation, free or as an off-site accommodation to residents of a multi-family dwelling, or clients and customers of a business.
Parking space. An area, enclosed or unenclosed, which is reserved or intended for the parking of one (1) motor vehicle, and which is accessible to and from a street or alley.
Parking structure - principal use. A structure composed of multiple levels or floors used for the parking or storage of motor vehicles.
Party wall. A wall starting from the foundation and extending continuously through all stories to or above the roof, that separates one (1) building from another, but is in joint use by each building.
Patio. An impervious surface at grade designed and intended for recreational use by people and not as a parking space.
Pawn shop. An establishment that lends money on the deposit or pledge of physically delivered personal property, and who may also purchase of such property on the condition of selling it back again at a stipulated price. "Pawn Shop" includes establishments that buy personal property, such as jewelry or artwork, made of gold or other valuable metals for refining. Consignment shops and antique shops are not considered "Pawn Shops."
Performance standards. Criteria to control noise, odor, smoke, toxic or noxious matter, vibration, fire, and explosive hazards, or glare of heat generated by or inherent in use of land or buildings.
Pergola. A structure of parallel columns supporting an open roof of beams and crossing rafters.
Permanently installed stand-by generator. A device for generating electrical energy that provides temporary power during incidental power outages and emergency power outages due to storms and other natural and/or man-made disasters.
Person or entity. An association, corporation, partnership, limited liability company, organization, proprietorship, trust or individual.
Personal services establishment. An establishment or place of business primarily engaged in the provision of frequent or recurrent needed services of a personal nature. Typical uses include, but are not limited to, beauty shops, barbershops, tanning salons, massage salons, shoe repair, Laundromats, dry cleaners and tailors. This does not include "Art Studios," "Financial Institutions" and "Medical/Dental Clinics."
Pet day care service. An establishment where pet animals owned by another person are boarded for the day, and services such as grooming and pet training are offered. "Pet Day Care Service" may include accessory retail sales on the site.
Place of worship. A building, together with its accessory buildings and uses, where persons regularly assemble for religious purposes and related social events and which, together with its accessory buildings and uses, is maintained and controlled by a religious body organized to sustain religious ceremonies and purposes. A "Place of Worship" may include accessory uses operated by the religious body such as group housing for persons under religious vows or orders, day care facilities and/or weekly religious instruction.
Play house. A detached accessory structure used for recreation and is not considered to be a habitable residence.
Pool hall. An establishment that provides, as a principal use, pool or billiard tables or a combination thereof for customer use.
Pool house/cabana. A detached accessory structure designed for use with a swimming pool or spa, which typically maintains facilities for changing clothes, storing swimming equipment and supplies, and minimal sanitary facilities.
Porch. A structure, which is open on two (2) or more sides, that projects from the exterior wall of a building, has direct access to the street level of the building, and is covered by a roof or eaves that may be supported by posts and has no roof-supporting walls.
Porch, front. A porch serving the primary entrance to the principal structure.
Principal building or principal structure. A non-accessory structure in which a principal use of the lot on which it is located is conducted.
Principal use. The main use of land or structure as distinguished from an accessory use.
Printing or photocopying establishment. A facility for the custom reproduction of written or graphic materials on a custom order basis for individuals or businesses. Typical processes include, but are not limited to, photocopying, lithography, screen printing, and other forms of offset printing.
Private club. Any association, person, firm, or corporation excluding the general public from its premises or exercising control over any other place where only members and guests of members, accompanied by a member, are admitted.
Processing organization or processor means a facility operated by an organization or business that is licensed by the Department of Agriculture to either extract constituent chemicals or compounds to produce cannabis concentrate or incorporate cannabis or cannabis concentrate into a product formulation to produce a cannabis product.
Public safety facility. Facilities operated by public safety agencies including fire stations and other fire prevention and firefighting facilities, and police and sheriff substations and headquarters, including interim incarceration facilities. The vehicles of fire and police may be dispatched, stored and/or maintained within the "Public Safety Facility."
Public use area (for parking standard calculations). The area within a use where the public or a substantial number of the public has access to, including but not limited to, such areas as dining rooms, restrooms, bar seating, display areas, etc.
Public works facility. All production, storage, transmission and recovery facilities for water, sewer, telephone and other similar utilities owned or operated by any public agency or utility. This includes any municipal repair, storage or production facility or public works yard, as well as any accessory office or meeting rooms. Municipal vehicles may be dispatched, stored and/or maintained within the "Engineering and Public Works Facility." "Engineering and Public Works Facility" does not include "Public Safety Facility."
Recreation center. A building or enclosed structure, operated by a government agency for use by the public, which contains recreational facilities, including but not limited to racquet courts, swimming pools, auditoriums, ice rinks and/or gymnasiums. A recreation center shall include outdoor facilities which are immediately adjacent to or accessed through the building or enclosed structure, including but not limited to outdoor amphitheaters, racquet courts, ice rinks and swimming pools, and further shall include any accessory office, museum, restaurant, concession stand, picnic tables, pro shop, maintenance building, restroom facility, boating or boat storage facility, or similar accessory use or structure.
Recreational use. A structure, equipment, or activity that is used to facilitate sport, exercise, hobby, craft, or pastime that is incidental to and associated with a residential use located on the same lot.
Recreational vehicle. A vehicular unit, which is designed as a temporary dwelling for travel, recreation and vacation use, and which is self-propelled, mounted on or pulled by another vehicle. Examples include, but are not limited to, a travel trailer, camping trailer, truck camper, motor home, fifth-wheel trailer, or van.
Related party. Person(s) related to each other by blood, marriage, adoption or civil union, or entities whose officers, trustees, shareholders, partners or members are either the same person or are related to each other by blood, marriage, adoption or civil union.
Research and development facility. An establishment where research and development is conducted in industries that include, but are not limited to, biotechnology, pharmaceuticals, medical instrumentation or supplies, communications and information technology, electronics and instrumentation, and computer hardware and software. "Research and Development Facility" does not involve the manufacture, fabrication, processing or sale of products, with the exception of prototype development.
Residential care facility. A group care facility, which may or may not be licensed by the state, for twenty-four (24) hour medical or non-medical care of persons in need of personal services, supervision or assistance essential for sustaining the activities of daily living, or for the protection of the individual. Residential care facility includes nursing care, assisted living, and continuum of care facilities.
Restaurant, carry-out/delivery. An establishment maintained, operated, or advertised or held out to the public as a place where food, beverage or desserts are served in disposable containers or wrappers from a serving counter for consumption off the premises, or are prepared and then delivered by messenger, via a vehicle, bicycle or by foot to the persons placing the food order.
Restaurant, full service. An establishment where food and/or beverages are prepared, served and consumed, and whose principal method of operation includes providing customers with an individual menu and serving food and beverages by a restaurant employee at the same table or counter where the items are consumed.
Restaurant, limited service. A establishment, which may be part of a chain of fast food outlets, whose design or principal method of operation includes three (3) or more of the following characteristics:
(1)
A permanent menu board is provided from which to select and order food;
(2)
Standardized floor plans, architecture and/or sign design are used over several locations;
(3)
Customers pay for food before consuming it;
(4)
A self-service condiment bar is provided;
(5)
Trash receptacles are provided for self-service bussing;
(6)
Furnishing plan indicates hard-finished, stationary seating arrangements;
(7)
Drive-through service is offered; and
(8)
Most main course food items are prepackaged rather than made to order.
Restaurant, specialty. An establishment whose primary business is the sale of a single specialty type of food or beverage that is not considered a complete meal (e.g., baked goods, candy, coffee, or ice cream). The sale of other food, beverages or merchandise is incidental to the sale of the specialty food or beverage.
Retail goods establishment. A building, property, or activity that provides physical goods, products or merchandise directly to the consumer, where such goods are typically available for immediate purchase and removal from the premises by the purchaser.
Retail Goods Establishment - PCD-1. A building, property, or activity that provides physical goods, products or merchandise directly to the consumer, where such goods are typically available for immediate purchase and removal from the premises by the purchaser; or delivered to or caused to be delivered to the purchaser when the point of sale is at the same premises where the physical goods, products or merchandise was ordered; except for those Retail Goods Establishments that:
1.
Generate less than 50% of its gross receipts from the sales of goods;
2.
Generate more than 50% of its gross receipts from the sales of goods at a price of $5 or less; or
3.
Is a resale shop, pawn shop, consignment shop, or other similar establishment shall not be considered Retail Good Establishments - PCD-1.
Roof, flat. A roof having a pitch of not more than 3 inches to 12 inches.
Satellite dish antenna. A dish antenna designed for transmitting signals to a receiver or receiving station or for receiving television, radio, data, communication or other signals from other antennas, satellites or other services.
Shed. A relatively small accessory building often purchased pre-built or as a kit in pre-fabricated sections. It is not designed to be served by heat, electricity, or plumbing and does not need to be placed on a permanent foundation.
Sign. A name, identification, description, display, illustration or attention-getting device which is affixed to or painted or represented directly or indirectly upon a building or other outdoor surface or lot, and which directs attention to a person, business, product, service, place, organization or entertainment. "Sign" does not include the flag of any nation, state or governmental entity.
Sign, awning. A sign displayed on the face or valance of an awning.
Sign, banner. Any sign printed or displayed upon cloth or other flexible material with or without frames. A banner, in compliance with the regulations of this Ordinance, is not considered an "Attention-Getting Device."
Sign, box. A sign, containing multiple letters, symbols, and/or logos in a single cabinet whose face is flat and parallel to the front facade of a building, whose sides are perpendicular to and attached to that facade, and which may or may not be internally illuminated.
Sign, construction. A temporary sign identifying an architect, contractor, subcontractor and/or material supplier participating in construction on the property on which the sign is located and which may identify the proposed use for the property.
Sign, construction fencing. Signage that is affixed to a construction fence, when such construction fence is required to be erected and maintained as part of a construction project.
Sign, directional. A sign that identifies parking lot entrances and exits, restrooms, public telephone, walkways, parking lot entrances and exits, and features of a similar nature.
Sign, directory. A sign that serves as common or collective classification for a group of persons or businesses operating on the same zoning lot (e.g., shopping center, office complex, etc.). Such sign may name the persons or businesses included, but carry no other advertising matter.
Sign, flashing. A sign which contains an intermittent or sequential flashing light source used primarily to attract attention.
Sign, ground. A sign that is supported by a pole or other form of ground support, which is independent of a building. A pole or other similar structure may itself be a ground sign.
Sign, menu board. A device that functions to list items for sale at an establishment with drive-through facilities.
Sign, municipal. A sign erected and maintained pursuant to, and in discharge of, any municipal functions or as required by law, including but not limited to, speed limit signs, stop signs, Village limit signs, street name signs, historical or government sites, and directional signs.
Sign, non-conforming. A sign lawfully erected and maintained prior to the adoption of this Ordinance that does not conform to the requirements of this Ordinance.
Sign, portable. A sign whose principal supporting structure is intended, by design and construction, to be used by resting upon the ground for support and may be easily moved or relocated for reuse. Portable signs include but are not limited to signs mounted upon a trailer, wheeled carrier or other non-motorized mobile structure, with wheels or with wheels removed. "Portable Sign" does not include "Sidewalk Signs."
Sign, projecting. Any sign that is attached to a building or other structure, and extends beyond the surface of the building or structure to which it is attached.
Sign, roof. Any sign wholly erected, constructed, or maintained above the roof structure or parapet of any structure with the principal support attached to the roof structure.
Sign, sidewalk. A sign placed either on a private sidewalk along the frontage of the building or establishment to which it relates, or on a public sidewalk and along the frontage and on the same side of the street of the building or establishment to which they relate.
Sign, wall. A sign mounted flat against and projecting less than twelve (12) inches from the wall of a building or structure with the exposed face of the sign in a plane parallel to the face of the wall. "Wall Sign" does not include "Window Sign" or "Box Sign."
Sign, window. A sign attached to, placed upon, or printed on the interior or exterior of a window or door of a building intended for viewing from the exterior of such a building. A "Window Sign" may be either permanent or temporary.
Sign, window wrap. A display that is made of film, vinyl or polymer that is placed on and covering an exterior facing window of a storefront.
Social club or lodge. A private not-for-profit association, corporation or other entity that has a limited membership and elected officers pursuant to its bylaws that excludes the general public from its premises and holds all property for the common benefit of its members. "Social Club or Lodge" does not include an establishment that permits non-members to pay a temporary membership fee at the door in order to enter and use the premises.
Solar panel. A device that collects and converts direct sunlight as a source of energy for such purposes as heating or cooling a structure, heating or pumping water, or generating electricity. "Solar Panel" includes solar thermal panels.
Spa or hot tub. A man-made rigid or semi-rigid receptacle for water having a depth at any one (1) point greater than one (1) foot, but less than three (3) feet, or having a volume greater than eighty (80) gallons, but less than two thousand five hundred (2,500) gallons, used or intended to be used for bathing, wading, floating, or soaking, and constructed, installed or maintained in or above ground, and which is used exclusively by the owner or occupant of the property on which it is located, his family and his guests.
Sport court. An outdoor at-grade structure for recreational use, typically paved or consisting of a man-made surface. A "Sport Court" includes basketball courts, tennis courts and courts that are designed for multiple recreational activities.
Stacking space. A space specifically designated as a waiting area for vehicles patronizing a drive-through facility.
Stoop. An exterior floor typically, but not necessarily, constructed of concrete and/or masonry, with a finished floor elevation higher than the adjacent ground level, often with steps leading up to it, and utilized primarily as an access platform to a building.
Storefront. A room or set of rooms facing the street on the ground floor of a commercial building used for institutional or commercial activity.
Story. That portion of a structure included between the upper surface of any floor and the upper surface of the floor next above it, except that the topmost story is that portion of a structure included between the upper surface of the topmost floor and the ceiling or roof above it. The floor of a story may have split levels provided that there is not more than a four (4)-foot difference in elevation between the different levels of the floor. A mezzanine floor is counted as a story when it covers more than one-third (1/3) of the area of the floor next below it, or if the vertical distance from the floor next below it to the floor, ceiling or roof next above it is twenty-two (22) feet or more. "Story" does not include any such area having part of its ceiling height below grade. For the purposes of calculating floor area for single-family and two-unit dwellings, a maximum story height of eleven (11) feet must be used.
Story, half. A story under a gable, hip or gambrel roof, measured as described in Section 30-2.5.
Street level. The story of a building that has its floor at the closest level to the street, with direct pedestrian access to that story from the outside.
Street wall. The wall of a building nearest to and facing on a street.
Structural alteration. A change in the supporting members of a structure, such as bearing walls, columns, beams, or girders, or any substantial change in the roof line or in the exterior walls which does not increase any exterior dimension, excluding such repair or replacement as may be required for the safety of the structure.
Structure. Anything constructed or erected that requires location on the ground or attached to something having location on the ground. "Structure" does not include "Tree House."
Swimming pool. A man-made rigid or semi-rigid receptacle for water which has a depth at any point greater than eighteen (18) inches, which is used or intended to be used for swimming or bathing, which is constructed, installed or maintained in or above ground, and which is used exclusively by the owner or occupant of the property on which it is located, his family, and his guests.
Temporary contractor trailer. This use includes watchman's trailers, construction equipment sheds, contractor trailers and similar uses incidental to a construction project and sales of homes within a newly constructed development.
Transporting organization or transporter means an organization or business that is licensed by the Department of Agriculture to transport cannabis on behalf of a cannabis business establishment or a community college licensed under the Community College Cannabis Vocational Training Pilot Program.
Tree house. A detached accessory structure that is supported by 1) one or more trees 2) a combination of trees and ground support elements or 3) ground supports and surrounding a tree, that is used for recreation and is not considered to be a habitable residence.
Trellis. A frame or panel of latticework used as a screen or as a support for climbing shrubs or plants.
Twenty-four-hour business. A business, other than one engaged in public transportation or livery service, that is open to the public, accepts deliveries from a vehicle with above D Illinois commercial vehicle license plates or equivalent out-of-state truck license plates, or engages in any outdoor operations or activities related to the business between the hours of 1:00 a.m. and 5:30 a.m. Responding to an emergency request for service between 1:00 a.m. and 5:30 a.m. because of an imminent danger to person or property is not considered a commercial activity within the Village during those hours.
Unit of local government. The Village itself, a public school district, public library district, or public park district governed by a board or commission elected by the residents of the Village.
Unusual recreational use. A recreational use that is of such a scale or operated in such a way that it has visual impact or noise impact that is not typically or customarily found on a residential lot.
Use. The purpose or activity for which the land or structure is designed, arranged or intended, or for which it is occupied or maintained.
Use, intensity. A measure of the amount of development contained on a lot, measured in terms of square feet of active business use for commercial activities or density of dwelling units for residential activities.
Use, permitted. A use permitted in a zoning district without the need for special administrative review and approval, upon satisfaction of the standards and requirements of this Ordinance.
Use, special. A use that owing to some special characteristics attendant to its operation or installation is permitted in a zoning district only after review, and is subject to approval by the Village Board.
Utility. Utilities that are not subject to Village acceptance for operation or maintenance. For purposes of this Ordinance, private utilities include natural gas lines, power lines, telephone lines, cable television lines, fiber optic lines and other communication lines, their appurtenances and components and the utility companies' operation, maintenance, repair and replacement of same. Aboveground private utility structures, such as pedestals for cable wire access or other access points for underground infrastructure (communications wiring, fiber optic, etc.) are considered a "Utility."
Valance. The unsecured edge of an awning or canopy that projects below the bottom of the frame supporting the awning or canopy.
Vibration. The periodic displacement, measured in inches, of earth at designated frequency of cycles per second.
Wall. Any un-roofed man-made structure of concrete, stone, brick, tile, wood or similar type of material which has a foundation.
Wall, retaining. A wall or terraced combination of walls used to retain soil or similar material, that is not used to support, provide a foundation for, or provide a wall for a building or structure.
Warehouse/distribution. The storage, wholesale and distribution of manufactured products, supplies and equipment.
Water garden. Any ornamental tub, pool, or other natural or artificial water container planted with aquatic plants. "Water Garden" shall not include "Swimming Pools," or "Spas or Hot Tubs."
Wind turbine. A building-mounted or tower-mounted wind energy production system that is accessory to the principal use and intended to primarily reduce on-site consumption of utility power by the uses on the site. However, energy produced in excess of on-site consumption may be sold back to the utility power service provider.
Window well. An enclosure installed below grade that retains the earth around a window that is either entirely or partially below grade and is constructed for the purpose of egress from a below-grade space during an emergency and/or to provide light and ventilation to a basement.
Wireless telecommunications equipment. A specific device, the surface of which is used to transmit and/or receive radio-frequency signals, microwave signals, or other signals transmitted to or from other antennas. "Wireless Telecommunications Equipment" does not include "Satellite Dish Antenna." "Wireless Telecommunications Equipment" includes un-staffed structures used to house and protect the equipment necessary for processing telecommunications signals, which may include air conditioning equipment and emergency generators, and towers designed and constructed to support one (1) or more antennas and including all appurtenant devices attached to it.
Yard. A required open, unoccupied space on a lot, unobstructed from the ground to the sky, except for those encroachments allowed by this Ordinance.
Yard, established front - residential. The computed front yard setback as described in Section 30-2.5.
Yard, front. A yard extending along the full length of a front lot line and back to a line drawn parallel to the front lot line at a distance equal to the depth of the required front yard.
Yard, interior side. A yard extending between the required front yard line to the required rear yard line along the interior side lot line at a width equal to the depth of the required interior side yard.
Yard, rear. A yard extending along the full length of the rear lot line and back to a line drawn parallel to the rear lot line at a distance equal to the depth of the required rear yard.
Yard, side adjoining a street. A yard extending between the required front yard line to the rear lot line parallel to a lot line abutting a street at a width equal to the depth of the required side yard adjoining a street.
Yard, side combined. The combined width of the two (2) side yards, which are bounded by the rear yard setback line, the front yard setback line, both side yard setback lines, (which when added together meets the combined side yard setbacks requirements for the property), and both side property lines. For the purpose of meeting the minimum combined side yard setback requirements, this is measured from the closest point of each side of the principal structure to both side lot lines.
Zoning lot. A single tract of land located within a single block which, at the time of filing for a building permit, is designated by its owner or developer as a tract to be used, developed, or built upon as a unit, under single ownership or control. A "Zoning Lot" may or may not coincide with a "Lot of Record."
(Code 1993, § 20-2.4; Ord. No. 2014-O-65, 11-11-2014; Ord. No. 2015-O-13, 4-14-2015; Ord. No. 2017-O- 59, 10-10-2017; Ord. No. 2018-O-57, § 2, 10-25-2018; Ord. No. 2019-O-18, § 2, 5-14-2019; Ord. No. 2019-O-63, § 5, 10-22-2019; Ord. No. 2021-O-71, § 3, 11-23-2021; Ord. No. 2023-O-33, § 2, 7-11-2023; Ord. No. 2023-O-57, § 2, 8-8-2023; Ord. No. 2024-O-35, § 2, 6-11-2024; Ord. No. 2025-O-19, § 2, 3-11-2025; Ord. No. 2025-O-48, § 2, 6-10-2025)
(a)
Lot Dimensions.
(1)
Lot area. The computed area of the zoning lot contained within the lot lines.
For purposes of calculating maximum lot coverage and floor area for detached dwellings, group homes, day care homes and limited day care homes on property bounded on at least one side by the ordinary high water mark of a body of water, as defined in chapter 8, article XXIX, Appendix 9A of the Village Code, the area of the lot shall be determined using the mean lake elevation of 579' above sea-level in place of the lot line which is the ordinary high water mark.
(2)
Lot depth. "Lot Depth" is determined as follows:
(A)
The mean of the length of the two side lot lines or, where the lot has more than two side lot lines, the length of the longest line which is perpendicular to the front lot line and runs to the rear lot line (Figure 2-9).
(B)
For property with a rear lot line that is the ordinary high water mark of a body of water, as defined in chapter 8, article XXIX, Appendix 9A of the Village Code, the minimum rear yard setback along that rear lot line shall be measured from the mean lake elevation of 579' above sea level, but in no case shall the minimum rear yard setback be less than the base floodplain elevation as provided in chapter 8, article XXIX, Appendix 9A of the Village Code.
(3)
Lot width. "Lot Width" is determined as follows:
(A)
If the side property lines are parallel, the shortest distance between these parallel side lot lines at any point within the lot.
(B)
If the side property lines are not parallel, the length of a line at right angles to the axis of the lot at a distance equal to the front yard line required for the district in which the lot is located or thirty (30) feet to the rear of the front yard line, whichever results in the lesser width. The axis of a lot is a line joining the midpoints of the front and rear property lines.
FIGURE 2-8: LOT DIMENSIONS
FIGURE 2-9: REAR LOT LINE AND LOT DEPTH FOR IRREGULAR SHAPED LOTS
FIGURE 2-10: LOT WIDTH
(b)
Established Front Yard Setback - Residential. The established front yard shall be calculated as the average of the existing front yard setbacks as measured from the front lot line to the principal structure along the same side of the street and on the same block. Where there are five (5) or more principal structures on said block, the shortest and longest setbacks shall be eliminated in the making of the computation. The established front yard setback shall be permanently set using the principal structure locations of said block as of July 1, 2003.
(c)
Height. The vertical distance from grade to the highest point of the roof of a building or the highest point of a structure.
The height of the principal structure shall be measured from calculated grade.
The height of any accessory structure, except a fence, shall be measured from the average abutting grade.
The height of a fence, at any point along the fence, shall be measured from adjacent grade.
FIGURE 2-11: HEIGHT FOR PITCHED ROOF
(d)
Flat Roof. For the purpose of determining the maximum height of a single-family or two-unit dwelling, the dwelling shall be determined to have a flat roof if the area of the roof that is flat is greater than twenty-five percent (25%) of the area of the second floor.
If a dormer with a roof pitch of not more than 3 inches to 12 inches is contiguous to an area under a flat roof, the dormer shall be considered an extension of the flat roof if the dormer extends from a point 12" inches or less from the roof peak.
(e)
Half Story. For the purpose of determining the maximum height of a single-family or two-unit dwelling, the dwelling shall be determined to have a half story when no more than twenty-five percent (25%) of the floor area is located under dormers or other outward projections from the basic planes of the roof and has knee walls not exceeding two (2) feet in height to the bottom of the roof rafters.
(f)
Floor Area. For the purpose of determining the floor area of the principal building and all accessory buildings and structures on the lot, floor area shall mean the sum of the gross horizontal area of the several floors of a building, measured from the exterior faces of the exterior walls, or from the center line of party walls. This shall be measured to the exterior of building cladding greater than three (3) feet above grade and/or building cladding greater than three (3) feet above the floor level for any floor above the first floor.
(1)
For single-family, two-unit, townhouse/stacked flat and multi-family dwellings, this shall include the following:
(A)
One hundred percent (100%) of the area of a basement, if four (4) feet or more of the height of the basement projects above grade as measured from grade to the top of the first finished floor on structures built after July 1, 2003 in all districts except R and R1; and
(B)
One hundred percent (100%) of the area of a basement, if five (5) feet or more of the height of the basement projects above grade as measured from grade to the top of the first finished floor on structures built on or before July 1, 2003 in all districts except R and R1; and
(C)
One hundred percent (100%) of the area of a basement, if the height of the first floor exceeds that shown on Table 8-3: R1 Sub-District Residential Zoning Districts Bulk and Yard Regulations for the R and R1 zoning districts; and
(D)
One hundred percent (100%) of the area of any portion of a basement that projects seven (7) feet or more above the existing adjacent grade on a downward sloping lot; and
(E)
One hundred percent (100%) of the area of a garage or carport; and
(F)
One hundred percent (100%) of the floor area of any part of an attic, if that part has a height from floor or upper limits of the story below to bottom of rafters of six feet, nine inches (6' 9"), or more; and
(G)
One hundred percent (100%) of the area of any part of a story above the first story, if that part has a height from floor or upper limits of the story below to bottom of the story or half-story above of six feet, nine inches (6' 9"), or more; and
(H)
One hundred percent (100%) of the area below a habitable overhang; and
(I)
One hundred percent (100%) of the area of a covered porch, covered balcony or similar roofed exterior space where the element exceeds three (3) feet from the wall of the principal structure; and
(J)
One hundred percent (100%) of the area of a roofed accessory building or structure, such as a shed, gazebo, beach house/cabana, boat house, tree house or play house, or similar structure, when the total area of the accessory building or structure is in excess of sixty-four (64) square feet; and
(K)
One hundred percent (100%) of the area of a pergola, arbor or similar roofed structure if the roof beams and rafters combined comprise a roof structure that is less than eighty-five percent (85%) open or seventy-five percent (75%) of a pergola, arbor or similar roofed structure if the roof beams and rafters taken together comprise a roof structure that is at least eighty-five percent (85%) open. However, arbors meeting the standards combined in Section 30-13.4.(c) shall not be counted towards total floor area; and
(L)
Seventy-five percent (75%) of the area of an awning, canopy or similar element without ground supports, that exceeds three (3) feet in depth from the wall of the principal structure; and
(M)
One hundred percent (100%) of the area under eaves erected after July 1, 2003 that exceed three (3) feet in depth from the wall of the principal structure; and
(N)
Seventy-five percent (75%) of the area of an open balcony; and
(O)
Fifty percent (50%) of the area of a deck, if the deck and/or its railing project more than six feet, six inches (6' 6") above the existing adjacent grade; and
(P)
Fifty percent (50%) of the area of a deck when any portion of the deck and/or its railing project more than six feet, six inches (6' 6") above the existing adjacent grade on a downward sloping lot; and
(Q)
Any open two (2) story element (an interior space which has a clear height of one (1) story plus six feet, nine inches (6' 9") or more) shall be counted twice in calculating the floor area of the building, and any open three (3) story element (an interior space which has a clear height of two (2) stories plus six feet, nine inches (6' 9") or more) shall be counted three (3) times in calculating the floor area of the building. For this purpose, a maximum story height of eleven (11) feet shall be used; and
(R)
The floor area of a story directly below an attic (or a partial story), with a height from floor or upper limits of the story below to bottom of the attic (or partial story) rafters of seventeen feet, nine inches (17' 9") or greater shall be counted twice.
(2)
For mixed use and non-residential structures, this shall include the following:
(A)
One hundred percent (100%) of the first floor with a clear ceiling height of twenty-one (21) feet or less; and
(B)
Any open two (2) story element (an interior space which has a clear height of twenty-one (21) feet plus eleven (11) feet or more shall be counted twice in calculating the floor area of the building, and any open three (3) story element (an interior space which has a clear height of forty-two (42) feet plus eleven (11) feet or more) shall be counted three (3) times in calculating the floor area of the building; and
(C)
One hundred percent (100%) of the area of a basement, if four (4) feet or more of the height of the basement projects above grade as measured from grade to the top of the first finished floor on structures built after July 1, 2003; and
(D)
One hundred percent (100%) of the area of a basement, if five (5) feet or more of the height of the basement projects above grade as measured from grade to the top of the first finished floor on structures built on or before July 1, 2003; and
(E)
One hundred percent (100%) of the area of any portion of a basement that projects seven (7) feet or more above the existing adjacent grade on a downward sloping lot; and
(F)
One hundred percent (100%) of the area of a garage or carport; and
(G)
One hundred percent (100%) of the area of a roofed accessory building or structure, such as a shed, gazebo, detached pergola, beach house/cabana, boat house, tree house or play house, or similar structure; and
(H)
One hundred percent (100%) of the floor area of any part of an attic, if that part has a height from floor or upper limits of the story below to bottom of rafters of six feet, nine inches (6' 9"), or more; and
(I)
One hundred percent (100%) of the floor area of any part of a story above the first story, if that part has a height from floor or upper limits of the story below to bottom of the story or half-story above of six feet, nine inches (6' 9"), or more; and
(J)
One hundred percent (100%) of the area of a covered porch, covered balcony, or similar roofed exterior space; and
(K)
One hundred percent (100%) of any area below a habitable overhang; and
(L)
Fifty percent (50%) of the area of a deck, if the deck and/or its railing project more than six feet, six inches (6' 6") above the existing adjacent grade; and
(M)
For property that slopes downward towards a rear lot line the portion of a deck and/or its railing that projects more than six feet, six inches (6' 6") above the existing adjacent grade shall be counted at fifty percent (50%); and
(N)
One hundred percent (100%) of eaves erected after July 1, 2003 which exceed three (3) feet in depth from the wall of the principal structure; and
(O)
Seventy-five percent (75%) of the area of an open balcony; and
(P)
Seventy-five percent (75%) of the area of an awning, canopy or similar element without ground supports; and
(Q)
One hundred percent (100%) of the area of a pergola, arbor or similar roofed structure if the roof beams and rafters combined comprise a roof structure that is less than eighty-five percent (85%) open or seventy-five percent (75%) of a pergola, arbor or similar roofed structure if the roof beams and rafters taken together comprise a roof structure that is at least eighty-five percent (85%) open. However, arbors meeting the standards combined in Section 30-13.4.(c) shall not be counted towards total floor area.
(g)
Garage Floor Area Bonus. The garage floor area bonus shall be calculated in accordance with Table 8-2: R, R2, R3 and R4 Residential Zoning Districts Bulk and Yard Regulations, Table 8-3: R1 Sub-District Residential Zoning Districts Bulk and Yard Regulations and Table 8-4: Contextual Bulk Regulations.
(1)
Up to an additional four hundred and forty (440) square feet in excess of the floor area limit established in Table 8-2, Table 8-3 and Table 8-4 may be occupied by a detached or attached garage.
(2)
Up to an additional two hundred (200) square feet in excess of the floor area limit established in Table 8-2, Table 8-3 and Table 8-4 may be occupied by a detached shed.
(3)
The total additional area for a detached or attached garage in combination with a detached shed shall not exceed a total of four hundred and forty (440) square feet.
(4)
A roofed, open sided parking space (carport) shall be eligible for the garage floor area bonus.
(h)
Front Porch Floor Area Bonus.
(1)
The front porch floor area bonus shall be in accordance with Table 8-2, Table 8-3, and Table 8-4.
(2)
The front porch floor area bonus shall be provided for a front porch provided that the porch is no more than one (1) story in height, is covered by a roof or eave, and has no space above the porch which would be included in the calculation of the floor area.
(3)
In the event that there is more than one porch eligible for the front porch floor area bonus, the bonus shall apply to the porch that serves the primary entrance.
(i)
Attic Floor Area Bonus.
(1)
The attic floor bonus shall be calculated in accordance with Table 8-2, Table 8-3, and Table 8-4.
(2)
In order to receive the attic floor area bonus, the attic space must be above the second floor and below the roof rafters.
(j)
Lot Coverage. The portion of a lot that is occupied by buildings or structures. This shall be measured to the exterior of the building cladding greater than three (3) feet above grade and shall include the following:
(1)
One hundred percent (100%) of the footprint of a principal structure; and
(2)
One hundred percent (100%) of a below-grade structure (i.e., a basement) located less than ten (10) feet below grade when there is no structure that otherwise qualifies as lot coverage or floor area above it; and
(3)
One hundred percent (100%) of the footprint of a garage or carport; and
(4)
One hundred percent (100%) of the footprint of a roofed accessory building or structure, such as a shed, gazebo, beach house/cabana, boat house, tree house or play house, or similar structure, when the total area of the accessory building or structure is in excess of sixty-four (64) square feet; and
(5)
One hundred percent (100%) of the footprint of a pergola, arbor or similar roofed structure if the roof beams and rafters combined comprise a roof structure that is less than eighty-five percent (85%) open or seventy-five percent (75%) of a pergola, arbor or similar roofed structure if the roof beams and rafters taken together comprise a roof structure that is at least eighty-five percent (85%) open. However, arbors meeting the standards combined in Section 30-13.4.(c) shall not be counted towards total floor area;
(6)
One hundred percent (100%) of the footprint of a fireplace or chimney, whether attached to or detached from, a principal structure; and
(7)
One hundred percent (100%) of the footprint of architectural features attached to a structure, including but not limited to wing walls.
(k)
Fence Openness. For the purpose of Section 30-13.4.(h), fence openness is measured as follows:
(1)
An open fence is a fence that has over its entirety at least fifty percent (50%) of its surface area in open space which affords a direct view through the fence from eye level at a position perpendicular to the fence.
(2)
A solid fence is a fence that has over its entirety less than fifty percent (50%) of its surface area in open space which affords a direct view through the fence from eye level at a position perpendicular to the fence.
(Code 1993, § 20-2.5; Ord. No. 2014-O-65, 11-11-2014; Ord. No. 2015-O-13, 4-14-2015; Ord. No. 2017-O-59, 10-10-2017)
2.- DEFINITIONS
This Article contains definitions for generic uses and general terms used throughout the Ordinance.
(Code 1993, § 20-2.1)
The language set forth in the text of this Ordinance is interpreted in accordance with the following rules of construction:
(a)
The singular number includes the plural, and the plural the singular.
(b)
The present tense includes the past and future tenses, and the future tense includes the present.
(c)
The words "must" and "shall" are mandatory, while the words "may" and "will" are permissive.
(d)
The terms "must not," "shall not" and "may not" are prohibiting.
(e)
The masculine gender includes the feminine and neuter.
(f)
Whenever a defined word or term appears in the text of this Ordinance, its meaning is construed as set forth in the definition. Any word appearing in parenthesis, between a word and its definition herein, is construed in the same sense as that word. Words not defined are interpreted in accordance with the definitions considered to be normal dictionary usage.
(g)
If a definition contains a regulation and the use is inconsistent with that regulation, the use is prohibited.
(Code 1993, § 20-2.2)
(a)
Certain terms in this Article are defined to be inclusive of many uses in order to eliminate overly detailed lists of uses in the zoning districts established by this Ordinance.
(b)
A use that is not specifically listed in a zoning district or does not fall within a use definition, or as interpreted pursuant to Section 30-5.8 (Zoning Interpretations), is prohibited.
(Code 1993, § 20-2.3)
Abut. To share a common lot line or zoning district boundary, without being separated by a street or alley.
Accessibility ramp. A ramp, exterior lift or similar structure that provides wheelchair or similar access to a building.
Accessory living unit. A subordinate dwelling unit created wholly within an existing detached single-family dwelling unit that provides basic requirements for living, sleeping, eating, cooking and sanitation, while the building maintains the appearance of a single-family home.
Accessory structure. A structure on the same lot as, and of a nature customarily incidental and subordinate to, a principal building, and the use of which is clearly incidental and subordinate to that of the principal building.
Accessory use. A use that is customarily incidental and subordinate to the principal use of a lot and located on the same lot as the principal use.
Acre. A parcel of land containing an area of forty-three thousand five hundred sixty (43,560) square feet.
Adaptive reuse senior housing/55+ development. A multi-family dwelling, occupancy of which is limited to persons fifty-five (55) years of age or older (or, if two persons occupy a unit, at least one (1) shall be fifty-five (55) years of age or older), using a structure previously occupied as a lawfully established or legal non-conforming institutional or adaptive reuse senior housing use.
Addition or expansion. Any of the following:
(a)
Any increase in the floor area of a building.
(b)
A modification to the roof line of a building, such as by the construction of dormer, so as to increase the amount of existing floor space devoted to human use or occupancy.
(c)
For special uses, addition or expansion shall be determined by reference to the date the special use was approved by the Village or the date of the Ordinance or amendment thereto which first reclassified an existing use as a special use.
Addition in line. An addition that extends the exterior wall of a structure, vertically and/or horizontally.
Adjoining. Abutting or contiguous.
Alley. A public right-of-way, other than a street, which affords a secondary means of vehicular access to abutting properties.
Alteration. Any change in the size, shape, character, occupancy or use of a structure.
Amateur (HAM) radio equipment. An amateur (HAM) radio station licensed by the Federal Communications Commission (FCC), including equipment such as, but not limited to, a tower or alternative tower structure supporting a single, radiating antenna platform and other equipment.
Animal hospital. An establishment for the care and treatment of the diseases and injuries of animals, and where animals may be boarded during their convalescence.
Architectural feature. A part, portion or projection that contributes to the aesthetics of a structure, exclusive of signs, that is not necessary for the structural integrity of the structure or to make said structure habitable.
Arbor. A shelter of latticework intertwined with climbing vines and flowers.
Art gallery. A commercial establishment engaged in the sale, loan and/or display of paintings, sculpture, video art or other works. "Art Gallery" does not include "Cultural Facility," such as a library, museum or non-commercial gallery that may also display paintings, sculpture, video art or other works.
Art studio. A commercial establishment where an art or type of activity is taught, practiced or studied, such as dance, martial arts, photography, music, painting, gymnastics, yoga, or personal training (private sessions only). An "Art Studio" may have performance space related to the classes taught on-site.
Arterial street. A street designated as an arterial street in the Comprehensive Plan.
Artificial turf. A surface of synthetic fibers made to look like natural grass that is used for sports or similar activities that originally or normally take place on grass and for residential and commercial lawns.
Attention getting device. Any pennants, flag, festoon, propeller, pole covers, spinner, streamer, searchlights, balloons, flashing lights, changing colors, rotating or moving displays and any similar device or ornamentation designated for the purposes of attracting attention, promoting or advertising.
Attic. A story or half-story directly below the roof of a building.
Awning. A roof-like cover projecting from the wall of a building and offering protection from sun or rain. For "Awnings" used as a sign, see "Sign, Awning."
Balcony. A platform which projects from the exterior wall of a building above the ground floor of the building, which is exposed to the open air, which has direct access to the interior of the building, and is not supported by posts or columns extending to the ground.
Banner. See "Sign, Banner."
Basement. That portion of a building located all or partly underground, but having at least one-half (1/2) or more of its clear floor-to-ceiling height below grade.
Bay window. A window which projects outward from a building, which does not rest on the building foundation or on the ground.
Beach house. A detached accessory structure on a property that abuts Lake Michigan, which typically maintains facilities for changing clothes, storing swimming equipment and supplies, and minimal sanitary facilities.
Berm. An earthen mound designed to provide visual interest on a site, screen undesirable views, reduce noise or fulfill other such purposes.
Block. A tract of land bounded by streets, or by a combination of streets and public parks, cemeteries, railroad rights-of-way, or similar lines of demarcation. A block may be located in part beyond the corporate limits of the Village.
Blockface. That portion of a block or tract of land facing the same side of a single street and lying between the closest intersecting streets, or between an intersecting street and railroad right-of-way or waterway.
Boarder. A person who rents lodging within part of a dwelling occupied by the person to whom the payments are made, with a minimum rental period of one (1) month.
Boat. Any device used or intended to be used for navigation on water.
Boat house. A detached accessory structure on a property that is contiguous to Lake Michigan designed to provide enclosed storage of boats and related equipment.
Bowling alley. Indoor facility for the sport of ten-pin or duck-pin bowling, with customary accessory uses such as snack bars.
Brew pub. An establishment where food is served and consumed and beer is manufactured and consumed. Food and beer shall be served by employees to the same table or counter where the items are consumed. The establishment shall not sell for off-premises consumption more than 50,000 gallons per year.
Broadcasting studio. A programming origination studio of a television station, radio station, or cable television franchisee of the Village.
Buffer yard. Land area with landscape plantings and other components used to visibly separate one (1) use from another or to shield or block noise, lights, or other nuisances.
Buildable lot. A lot on which a structure may be erected in conformity with zoning and building code requirements.
Building. Any structure with walls and roof securely affixed to the ground and entirely separated on all sides from any other structure by space or by walls in which there are no communicating doors, windows, or openings; and which is designed or intended for the shelter, enclosure, or protection of persons, animals, or chattels. This does not include any structure with interior areas not normally accessible for human use or occupancy, such as gas tanks, water tanks, and similar structures.
Building integrated photovoltaic solar energy system. An active solar energy system that is an integral part of a principal or accessory building, rather than a separate mechanical device, replacing or substituting for an architectural or structural component of a building. Building integrated systems include, but are not limited to, photovoltaic or hot water solar energy systems that are contained within roofing materials, windows, skylights and awnings. Thin film solar photovoltaic cells shall be considered building integrated when the thin film does not appreciably increase the width of the material it is being applied to.
Caliper. The American Association of Nurserymen standard for trunk measurement of nursery stock, as measured at six (6) inches above the ground for trees up to and including four (4) inch caliper size, and as measured at twelve (12) inches above the ground for larger sizes.
Canopy. A permanent roof-like structure, movable or stationary, which projects from the exterior wall of a building over a platform or walkway to offer protection from sun or rain. For a "Canopy" used as a sign see "Sign, Canopy."
Cannabis business establishment means a cultivation center, craft grower, processing organization, dispensing organization, infusers, or transporting organization.
Car-sharing Service. A membership organization that is open to the general public and provides access to car-sharing vehicles.
Car-sharing Space. A parking space that is designated for the parking of a car-sharing vehicle.
Car-sharing Vehicle. Any vehicle available to multiple users through a car-sharing service that is maintained and owned or leased by a car-sharing company.
Car wash. A commercial establishment engaged in the washing and cleaning of passenger vehicles, recreational vehicles or other light duty equipment, whether automatic or by hand, within an enclosed building. Self-service car washes are not allowed.
Carnival/circus. A traveling or transportable group or aggregation of rides, shows, games, or concessions or any combination thereof.
Cemetery. Land used or dedicated to the burial of the dead, including crematoriums, mausoleums, columbaria, and necessary maintenance facilities. Columbaria and memorial gardens accessory to a place of worship are allowed as accessory uses. Pet cemeteries are prohibited.
Certificate of occupancy. A certificate that permits the use and/or occupancy of a structure or portion of a structure after it is constructed, reconstructed, remodeled, or moved, indicating that the proposed occupancy or use complies with all provisions of the Zoning Ordinance.
Chimney. A vertical shaft of reinforced concrete, masonry or other approved material enclosing one (1) or more flues, for the purpose of removing products of combustion from solid, liquid or gaseous fuel.
Christmas tree sales lot. A retail sales operation, generally conducted wholly outdoors, that offers for sale on a temporary, limited basis Christmas trees and related holiday items such as wreaths and Christmas tree stands.
Collector street. A street designated as a collector street in the Comprehensive Plan.
Co-location. Placement of wireless telecommunications equipment from more than one (1) service or service provider on a single tower or site.
Columbaria. An accessory structure intended to be used for the internment of the cremated remains of a deceased person. "Columbaria" must be part of a "Place of Worship" and screened from a public street.
Commercial vehicle. Any vehicle operated for the transportation of persons or property in the furtherance of any commercial or industrial enterprise, for-hire or not-for-hire, but not including a commuter van, a vehicle used in a ridesharing arrangement when being used for that purpose, or a recreational vehicle not being used commercially.
Common ownership. Ownership by the same person, corporation, firm, entity, partnership, or unincorporated association; or ownership by different corporations, firms, partnerships, entities, or unincorporated associations, in which a stockholder, partner, or associate owns an interest in each corporation, firm, partnership, entity, or unincorporated association.
Contiguous. Adjoining or abutting.
Convenience food mart. A business, other than a restaurant, which sells food directly to the consumer and occupies a floor area of less than three thousand (3,000) square feet. "Convenience Food Mart" may be accessory to a gas station.
Craft brewery. An establishment where beer is manufactured. The establishment may include a tasting room where beer manufactured on-site is served. A craft brewery shall not sell for off-premises consumption more than 50,000 gallons per year.
Craft distillery. An establishment where spirits are distilled in limited quantities not to exceed 35,000 gallons per year. The establishment may include a tasting room where spirits manufactured on-site are served.
Craft grower means a facility operated by an organization or business that is licensed by the Department of Agriculture to cultivate, dry, cure, and package cannabis and perform other necessary activities to make cannabis available for sale at a dispensing organization or use at a processing organization. A craft grower may contain up to 5,000 square feet of canopy space on its premises for plants in the flowering state. The Department of Agriculture may authorize an increase or decrease of flowering stage cultivation space in increments of 3,000 square feet by rule based on market need, craft grower capacity, and the licensee's history of compliance or noncompliance, with a maximum space of 14,000 square feet for cultivating plants in the flowering stage, which must be cultivated in all stages of growth in an enclosed and secure area. A craft grower may share premises with a processing organization or a dispensing organization, or both, provided each licensee stores currency and cannabis or cannabis-infused products in a separate secured vault to which the other licensee does not have access or all licensees sharing a vault share more than 50 percent of the same ownership.
Cultivation center means a facility operated by an organization or business that is licensed by the Department of Agriculture to cultivate, process, transport (unless otherwise limited by this Act), and perform other necessary activities to provide cannabis and cannabis-infused products to cannabis business establishments.
Cultural facility. A use that is open to the public and provides cultural services and facilities including, but not limited to, museums, cultural centers, historical societies and libraries operated by a public, private or non-profit organization.
Day. When used in this Ordinance, "Day" shall mean one (1) calendar day.
Day care center, adult. A facility, not located within a residential dwelling unit, providing care for elderly adults sixty-five (65) years of age and over and/or functionally impaired adults eighteen (18) years of age and older who require assistance to carry out mobility, personal hygiene, and/or interpersonal relations basic to everyday living in a protective setting for less than twenty-four (24) hours per day. An "Adult Day Care Center" does not include "Day Care Home" or a program operated by a "Place of Worship," that provides care for elderly and/or functionally impaired adults in a protective setting for less than twenty-four (24) hours per day.
Day care center, child. A facility, not located within a residential dwelling unit, providing care for children up to twelve (12) years of age and/or functionally impaired persons up to eighteen (18) years of age in a protective setting for less than twenty-four (24) hours per day. A "Child Day Care Center" does not include "Day Care Home" or a program operated by an "Educational Facility" (all types) or "Place of Worship," that provides care for children for less than twenty-four (24) hours per day.
Day care home, adult. A detached dwelling in which a permanent occupant of the dwelling provides care for up to eight (8) elderly adults sixty-five (65) years of age and over and/or functionally impaired adults eighteen (18) years of age and older who require assistance to carry out mobility, personal hygiene, and interpersonal relations basic to everyday living in a protective setting for less than twenty-four (24) hours per day.
Day care home, child. A detached dwelling in which a permanent occupant of the dwelling provides care for up to twelve (12) children up to twelve (12) years of age and/or functionally impaired persons up to eighteen (18) years of age from outside households. The number counted includes the family's natural or adopted children and all other persons under the age of twelve (12).
Deck. A structure which is open to the sky and provides a platform that is raised above the ground but no higher than the floor of the street level of the principal building.
Dispensary means a facility operated by a dispensing organization at which activities licensed by this Act may occur.
Dispensing organization means a facility operated by an organization or business that is licensed by the Department of Financial and Professional Regulation to acquire cannabis from a cultivation center, craft grower, processing organization, or another dispensary for the purpose of selling or dispensing cannabis, cannabis-infused products, cannabis seeds, paraphernalia, or related supplies under this Act to purchasers or to qualified registered medical cannabis patients and caregivers. As used in this Act, dispensary organization shall include a registered medical cannabis organization as defined in the Compassionate Use of Medical Cannabis Pilot Program Act or its successor Act that has obtained an Early Approval Adult Use Dispensing Organization License.
Dog run. A designated area for the exercise and relief of dogs. The enclosure of all or a portion of a property paralleling a property line shall not constitute a dog run.
Donation box. A container used for the purpose of collecting donated items for resale or for use by a charitable organization or institution.
Donation drop-off facility. A storefront or building where the principal business is to accept material donations.
Dormer. An extension built out from a sloping roof to accommodate a vertical window.
Driveway. Any impervious or compacted gravel surface providing direct ingress to and egress from a parking space.
Drive-through facility. Premises used to provide or dispense products or services through an attendant, window or automated machine, to persons remaining in motor vehicles in a designated stacking space. A "Drive-Through Facility" may be used in combination with other uses, such as a "Financial Institution" or "Retail Goods Establishment."
Dwelling. Any structure, or portion thereof, designed or used exclusively for residential occupancy.
Dwelling, above the ground floor. Dwelling units within multi-story buildings located above non-residential uses on the ground floor.
Dwelling, multi-family. A building that contains three (3) or more dwelling units attached along and sharing one (1) or more common walls.
Dwelling, single-family. A building that contains one (1) dwelling unit and is developed with open yards on all sides and not attached to any other building or dwelling unit.
Dwelling, townhouse/stacked flat. A building that contains two (2) or more dwelling units which does not maintain the external appearance of a detached dwelling and is developed in accordance with Section 30-12.3.(i).
Dwelling, two-unit. A building that contains two (2) dwelling units located either side by side or stacked vertically, which maintains the external appearance of a detached dwelling with open yards on all sides and not being attached to any other building.
Dwelling unit. One (1) or more rooms constituting all or part of a dwelling, which are arranged, designed, used or intended for use exclusively as living quarters for one (1) household, which includes permanently installed bathroom and kitchen facilities.
Easement. Land designed by lawful agreement between the owner(s) of the land and another person(s) or entity(ies) for a specified use only by such person(s) or entity(ies).
Eave. The projecting lower edges of a roof overhanging the wall of a building.
Educational facility, college. A post-secondary institution for higher learning that grants associate or bachelor degrees. The institution may also have research facilities, and/or professional schools that grant master and doctoral degrees. Educational Facilities, College also includes post-secondary theological schools for training ministers, priests or rabbis. "Educational Facilities, College" do not include "Educational Facilities, Vocational."
Educational facility, primary. A public, private or parochial school offering instruction at the elementary and/or junior high school levels with a full range of curricular programs.
Educational facility, secondary. A public, private or parochial school offering instruction at the senior high school level with a full range of curricular programs. "Educational Facilities, Secondary" also includes secondary theological schools for training ministers, priests or rabbis.
Educational facility, vocational. A school established to provide for the teaching of industrial, clerical, managerial or artistic skills. This definition applies to schools that are owned and operated privately for-profit and do not offer a complete educational curriculum, but may offer certification in their particular field. "Educational Facilities, Vocational" does not include "Educational Facilities, College."
Electric Vehicle (EV). A vehicle that stores electric energy to be used for propulsion.
Electric Vehicle, Plugin (PEV). A vehicle that has a conductive plug or inductive wireless connection for recharging the battery.
Electric Vehicle Charging Station. A device to safely supply power to an electric vehicle.
Electric Vehicle Charging Space. A place where a vehicle may be parked to transfer electric energy to a battery or other energy storage device within that vehicle and any equipment necessary to transfer that energy.
Encroachment. The extension or placement of any structure, or portion of such, into a required yard.
Entity or person. An association, corporation, partnership, limited liability company, organization, proprietorship, trust or individual.
Erect. To build, construct, attach, hang, place, suspend or affix.
Established front yard - residential. See "Yard, Established Front - Residential."
Expressway. A permanent public right-of-way designated as an expressway in the Comprehensive Plan.
Exterior stairwell. One (1) or more flights of stairs and the necessary landings and platforms connecting them to form a continuous passage from the entryway of one (1) floor or level to another in a building or structure located on the exterior of a principle building.
Fall-out or emergency shelter. An accessory structure which incorporates the fundamentals for fall-out protection (shielding mass, ventilation, and living space), which is constructed of such materials and in such a manner as to afford the occupants substantial protection from radioactive fall-out, and which has no element projecting more than one (1) foot above the natural ground level.
Farmer's market/French market. The seasonal selling or offering for sale of home-grown vegetables or produce, occurring in a pre-designated area where the vendors are generally individuals who have raised the vegetables or produce or have taken the same on consignment for retail sale.
Fence. A free standing structure, including gates as needed, made of metal, masonry, wood or synthetic fiber or material, or any combination thereof, including gates, resting on or partially buried in the ground, rising above ground level, and used to delineate a boundary or as a barrier or means of protection, confinement, or screening. A fence that is installed atop or resting on a foundation rather than posts is considered a wall for purposes of this Ordinance.
Fence, open. A fence which has, over its entirety, fifty percent (50%) or more of its surface area as open, defined as allowing a direct view through the fence from eye level at a position perpendicular to the fence.
Fence, solid. A fence which has, over its entirety, less than fifty percent (50%) of its surface area as open, defined as allowing a direct view through the fence from eye level at a position perpendicular to the fence.
Financial institution. A bank, savings and loan, credit union or mortgage office.
Floor area. The floor area within the enclosing walls and under any covered areas of any building. For the purpose of determining the floor area of the principal building and all accessory buildings and structures on the lot, floor area shall mean the sum of the gross horizontal area of the several floors of a building, measured from the exterior faces of the exterior walls, or from the center line of party walls, as described in Section 30-2.5.
Floor area ratio. The numerical value obtained by dividing the aggregate floor area on a lot by the area of such lot. The floor area ratio designated for each zoning district, when multiplied by the lot area in square feet, shall determine the maximum permissible square footage of floor area for the building on such lot.
Foot-candle. A unit of illumination. It is equivalent to the illumination at all points that are one (1) foot distant from uniform source of one (1) candlepower.
Frequency. The term "frequency" signifies the number of oscillations per second in a sound wave and is an index of the pitch of the resulting sound.
Funeral home. A building used for the preparation of the deceased for burial display of the deceased and rituals before burial or cremation. A "Funeral Home" includes chapels located within the building used for the display of the deceased and the conducting of rituals before burial or cremation.
Garage. A structure, either attached to or detached from a principal building, used or designed to be used for storage of motor vehicles and accessory storage related to the use of the principal building.
Garage and yard sales. A temporary sale of goods from a residential premise, conducted on an infrequent and unscheduled basis, for the purpose of disposing of personal property.
Garden center. Retail business whose principal activity is the selling of plants, which may be grown on the site, and other gardening equipment and supplies, typically having outside storage, growing or display.
Gas station. A business where flammable or combustible liquids or gases used as fuel for motor vehicles are stored and dispersed from fixed equipment into the fuel tanks of motor vehicles. "Gas Station" may also include charging stations for electronic vehicles and a car wash as an accessory use.
Gazebo. A detached accessory structure that is roofed and open-sided in design for recreational use and not for habitation.
Glare. Illumination, or a contrast between illumination and its background, which results in reduced visual performance and visibility or which results in a sensation of visual discomfort caused by high or non-uniform distribution of brightness in the field of view.
Golf course. A tract of land laid out with at least nine (9) holes for playing a game of golf and improved with tees, greens, fairways, and hazards. A golf course may include a clubhouse, restrooms and shelters as accessory uses. A driving range may be included as part of a "Golf Course."
Government facility. A building owned, operated and/or occupied by a governmental agency to provide a governmental service to the public. "Government Facility" does not include "Public Safety Facilities," "Engineering and Public Works Facilities" and "Recreation Centers."
Grade, adjacent. The existing grade at the point of installation of a fence, sign or other referenced accessory structure.
Grade, average abutting. The computed average of the existing elevations of the surrounding ground abutting the structure as measured at every one (1) foot of the perimeter of the structure.
Grade, calculated. The computed average of the existing elevations as measured at the side property lines at the required front yard setback line.
Grade, existing. The pre-construction elevation of the ground contour or as determined by the Village Engineer.
Greenhouse. A structure constructed chiefly of glass, glasslike or translucent material, cloth or lath, which is devoted to the protection or cultivation of flowers or other tender plants.
Gross leasable area. The total floor area designed for occupancy and exclusive use by tenants, including areas used for storage. The area of tenant occupancy is measured from the centerlines of joint partitions to the outside of the tenant walls.
Ground floor. The first floor of a building generally located at grade or up to five (5) feet above or below grade and accessed directly from the street or parking lot.
Group home. A detached dwelling occupied by two (2) to five (5) persons, certified or accredited by the appropriate state or federal agencies, and:
(1)
That function as a single housekeeping unit for the housing of persons with functional disabilities who share responsibilities, meals, recreation, social activities and other aspects of residential living; or
(2)
That function as a single housekeeping unit for enrolled students of the same educational facility who share responsibilities, meals, recreation, social activities and other aspects of residential living.
Group Home does not include a residence that services persons as an alternative to incarceration for a criminal offense or a nursing facility.
Group Home 6-8. A detached dwelling occupied by six (6) to eight (8) persons, certified or accredited by the appropriate state or federal agencies, and:
(1)
That function as a single housekeeping unit for the housing of persons with functional disabilities who share responsibilities, meals, recreation, social activities and other aspects of residential living; or
(2)
That function as a single housekeeping unit for enrolled students of the same educational facility who share responsibilities, meals, recreation, social activities and other aspects of residential living.
Group Home does not include a residence that services persons as an alternative to incarceration for a criminal offense or a nursing facility.
Health club. A recreational facility containing athletic or physical conditioning equipment, racquet courts, and/or a swimming pool, which is operated on a private membership basis and restricted to use by members and their guests.
Heavy retail, rental and service. A business that provides for on-site use, storage, or sale of heavy equipment or construction materials, including building materials suppliers, lumberyards, construction yards, metal shops, and welding shops. "Heavy Retail, Rental and Service" does not include junkyards.
Hedge. A row of closely planted shrubs, bushes or any kind of plant forming a boundary or fence.
Height. The vertical distance from grade to the highest point of the roof of a building or the highest point of a structure as measured in Section 30-2.5.
Home occupation. An occupation or profession which involves the rendering of a service in exchange for monetary fees or other remuneration, is conducted wholly within a dwelling unit by a member of the family residing therein, and is clearly incidental and secondary to the use of the dwelling unit for residential purposes.
Hotel/motel. An establishment providing, for a fee, sleeping accommodations and customary lodging services, including maid service, the furnishing and upkeep of furniture and bed linens, and telephone and desk service. Related ancillary uses may include, but shall not be limited to, conference and meeting rooms, restaurants, bars, and recreational facilities.
Household. Individuals living together on the premises as a single housekeeping unit.
Impervious surface. A measure of intensity of land use that represents the portion of a site that is occupied by buildings, structures, pavement, and other improved surfaces. This includes any surface, whether considered by industry standard to be permeable, if such surface requires routine maintenance to maintain the permeability of the surface.
Incombustible. A material that will not ignite during an exposure to a temperature of one thousand two hundred degrees Fahrenheit (1,200°F) for five (5) minutes.
Indoor amusement facilities. Spectator and participatory uses conducted within an enclosed building, such as movie theaters, bowling alleys, pool halls, arcades and indoor sporting exhibitions. Indoor amusement facilities may include accessory uses, such as snack bars or restaurants, for the use of patrons.
Infuser organization or infuser means a facility operated by an organization or business that is licensed by the Department of Agriculture to directly incorporate cannabis or cannabis concentrate into a product formulation to produce a cannabis-infused product.
Intentional demolition. Any act or process that intentionally dismantles or removes a building or structure in part or in whole.
Kennel. An establishment where pet animals owned by another person are temporarily boarded for pay or remuneration of any sort. "Kennel" includes those facilities where pet animals are boarded for the day and/or overnight. "Kennel" does not apply to animal hospitals operated by veterinarians duly licensed under the law where the boarding of animals is accessory to medical treatment or convalescence after medical treatment of an animal.
Knee wall. That portion of the attic framing as measured from the top of the attic floor joist to the top of the joint where the wall framing meets the roof rafter.
Lighting, fully shielded. A fixture that is shielded in such a manner that light rays emitted by the fixture, either directly from the lamp or indirectly from the fixture, are projected below a horizontal plane running through the lowest point on the fixture where light is emitted.
Lighting, unshielded. A fixture that allows light, either directly from the lamp or indirectly from the fixture or a reflector, to be emitted above the horizontal plane running through the lowest point on the fixture where light is emitted.
Live performance venue. A facility that accommodates the live performance of musical, theatrical, dance, cabaret, or comedy acts performed live by one (1) or more persons. "Restaurants" that regularly host such performances shall be considered "Live Performance Venues." A "Live Performance Venue" may possess a liquor license and may provide food for consumption on the premises. Residences used to accommodate live performances for more than ten (10) persons (including performers) for any form of remuneration, including donations in kind or in money, are considered live performance venues subject to the provision of a temporary use permit.
Loading berth. A space exclusive of driveways, aisles, maneuvering areas, ramps, columns, landscaping areas, office, and work areas for the temporary parking of a commercial vehicle while loading or unloading goods or materials, and which abuts upon a street, alley, or other appropriate means of access.
Logo. A business trademark or symbol.
Lot. A parcel or tract of land located within a single block, occupied, or intended for occupancy, by one (1) principal building or principal use, and having frontage upon a street.
Lot area. The computed area of the zoning lot contained within the lot lines as described in Section 30-2.5.
Lot, corner. A lot situated at the junction of and abutting two (2) or more intersecting streets, and where the interior angle at the intersection of such two (2) sides is less than one hundred thirty-five (135) degrees. The point of intersection of the lot lines abutting the street is the corner of the lot in question. A lot that abuts a curved street or streets shall be considered a "Corner Lot" if the tangents to the curve at the curve's point of beginning between the side lot lines, or at the points of intersection of the side lot lines with the lot line abutting the street, intersect at an interior angle of less than one hundred thirty-five (135) degrees. In such cases, the corner of the lot in question is that point on the lot line abutting a street nearest to the point of intersection of the tangents above described.
Lot coverage. The area of a lot that is covered by any structure, including accessory structures, as described in Section 30-2.5.
Lot depth. The mean of the length of the two (2) side lot lines or, where the lot has more than two (2) side lot lines, the length of the longest line which is perpendicular to the front lot line and runs to the rear lot line as measured in Section 30-2.5.
Lot, double-frontage. A lot which has a pair of opposite lot lines along two (2) approximately parallel streets, and which is not a corner lot.
Lot, interior. A lot other than a corner lot or double-frontage lot.
Lot line. A property boundary line of any lot. Where any portion of the lot extends into an abutting street or alley, the lot line is the established or existing street or alley right-of-way line.
Lot line, front. The lot line which abuts the street line provided that:
(a)
Except as provided in Paragraph (c), on a corner lot, the lot line having the shortest dimension adjoining a street.
(b)
Except as provided in Paragraph (c), on a double-frontage lot, the lot line along the street which is designated as such by the Zoning Administrator, except that where an established front yard exists, a vacant double-frontage lot in the block must have its front lot line along the same street as the developed lots on the block.
(c)
On either a double-frontage lot or a corner lot located in the GC-1, GC-2, NR, NR-1, OR, PCD-2, PCD-3 or VC Districts, the following apply:
(1)
The lot line that adjoins an arterial or collector street.
(2)
If the lot adjoins more than one (1) arterial or collector street, then the lot line opposite from and most nearly parallel to the lot line that adjoins an alley. Where the lot adjoins both an arterial and collector street, the higher level street controls.
(3)
If no lot line adjoins an arterial or collector street, then the lot line opposite from and most nearly parallel to the lot line that adjoins an alley.
(4)
If the above situations do not apply, then the front lot line will adjoin the same street that adjoins the front lot lines of the majority of other developed lots in that block, to be verified by the Zoning Administrator.
Lot line, interior side. The lot line that is not abutting a street and is not a rear lot line.
Lot line, rear. The lot line which is most distant from and most nearly parallel to the front lot line, or in the case of an irregular or triangular lot or a property with a rear lot is the ordinary high water mark of a body of water, the rear lot line is as shown in Section 30-2.5.
Lot line, side. A lot line that is not a front lot line or a rear lot line, which may be an "Interior Side Lot Line" or "Side Adjoining a Street Lot Line."
Lot line, side adjoining a street. The lot line that is perpendicular or approximately perpendicular to the front lot line, which separates the longest street frontage of a corner lot from the street.
Lot of record. A lot that is part of a subdivision, the map of which was recorded in the office of the Recorder of Deeds of Cook County prior to the effective date of this Ordinance, and which met all lot dimension requirements in effect at the time of recording. A lot described by metes and bounds, the description of which has been recorded in the office of the Recorder of Deeds or in the office of the Registrar of Titles of Cook County prior to the effective date of this Ordinance, and which met all lot dimension requirements in effect at the time of recording.
Lot width. Lot Width is determined as shown in Section 30-2.5.
Luminaire. A complete lighting unit extending from a support structure, parallel to the ground, consisting of a light source and all necessary mechanical, electrical and decorative parts. A "Luminaire" does not include a pole or other support.
Manufacturing, general. An establishment that produces items from previously prepared materials of finished products or parts, including processing, fabrication, assembly, treatment, and packaging of such products, and incidental storage, sales, and distribution of such products, provided all activities are contained entirely within a structure, and noise, odor, smoke, heat, glare, and vibration resulting from the manufacturing activity are confined entirely within a structure.
Marquee. A permanent roof-like structure that extends from the wall of a building and is constructed of durable material such as metal or glass, but not supported from the ground.
Medical cannabis cultivation center. A facility operated by an organization or business that is registered by the Department of Financial and Professional Regulation to cultivate medical cannabis in accordance with the Compassionate Use of Medical Cannabis Pilot Program Act, or similar act of the General Assembly, provided that Medical Cannabis Cultivation Centers shall not be located within two thousand five hundred (2,500) feet of the property line of a pre-existing public or private preschool or elementary or secondary school or day care center, day care home, group day care home, part day child care facility, or an area zoned for residential use.
Medical cannabis dispensing organization. A facility operated by an organization or business that is registered by the Department of Financial and Professional Regulation to acquire medical cannabis from a registered cultivation center for the purpose of dispensing cannabis, paraphernalia or related supplies and educational materials to registered qualifying patients in accordance with the Compassionate Use of Medical Cannabis Pilot Program Act, or similar act of the General Assembly.
Medical/dental clinic - large. A facility, occupied by physicians, dentists, chiropractors or other licensed practitioners of the healing arts for the examination and treatment of persons solely on an outpatient basis, larger than 2,000 square feet in gross floor area. "Medical Clinics" also include alternative medicine clinics, such as acupuncture, and physical therapy offices.
Medical/dental clinic - small. A facility, occupied by physicians, dentists, chiropractors or other licensed practitioners of the healing arts for the examination and treatment of persons solely on an outpatient basis, not to exceed 2,000 square feet in gross floor area. "Medical Clinics" also include alternative medicine clinics, such as acupuncture, and physical therapy offices.
Memorial plaque. A sign, tablet, or plaque memorializing a person, event, structure, or site.
Motor vehicle dealership. Any business establishment that sells or leases new or used automobiles, trucks, vans, trailers, recreational vehicles, boats, motorcycles, or other similar motorized transportation vehicles. An automobile dealership may maintain an inventory of the vehicles for sale or lease either on-site or at a nearby location, and may provide on-site facilities for the repair and service of the vehicles sold or leased by the dealership.
Motor vehicle operations facility. A privately-owned facility for the dispatch, storage and maintenance of emergency medical care vehicles, taxicabs and other livery vehicles. "Motor Vehicle Operations Facility" does not include facilities where the vehicles of the fire, police or other municipal departments are dispatched, stored and/or maintained, which are considered "Public Safety Facilities."
Motor vehicle rental establishment. An establishment for the rental of automobiles, light trucks and vans, motorcycles and recreational vehicles, including incidental parking and servicing of rental vehicles.
Motor vehicle service and repair, major. Such use includes, but is not be limited to, establishments involved in engine rebuilding, major reconditioning of worn or damaged motor vehicles or trailers, towing and collision service, including body, frame or fender straightening or repair, and painting of motor vehicles.
Motor vehicle service and repair, minor. Such use includes, but is not limited to, minor repairs to motor vehicles, including repair or replacement of cooling, electrical, fuel and exhaust systems, brake adjustments, relining and repairs, wheel servicing, alignment and balancing, repair and replacement of shock absorbers, and replacement or adjustment of mufflers and tail pipes, hoses, belts, light bulbs, fuses, windshield wipers/wiper blades, grease retainers, wheel bearings, and the like.
Movie theater. A theater designed for showing movies or motion pictures.
Multi-tenant commercial structure. A structure or group of structures containing three (3) or more commercial uses constructed on a parcel of land under unified ownership or control, and/or planned and developed with unified building design and coordinated parking and service areas.
Nameplate. A sign indicating the name and address of the person or persons occupying the lot or a part of the building.
No-access strip. A strip of land which lies within and along the rear lot line of a double-frontage lot and which adjoins a street which is designated on a recorded subdivision plat or deed of conveyance as land over which motor vehicle travel is not permitted.
Non-conforming lot. A lot of record that does not meet the lot area or lot width requirements of this Ordinance for the zoning district in which it is located.
Non-conforming structure. A structure that was lawfully established prior to and existing on the effective date of this Ordinance, or any amendment hereto, that has been rendered non-conforming and does not conform to the requirements of this Ordinance for the zoning district in which it is located.
Non-conforming use. A use that was lawfully established prior to and being conducted on the effective date of this Ordinance, or any amendment hereto, that has been rendered non-conforming and does not conform to the requirements of this Ordinance for the zoning district in which it is located. This does not include a lawful permitted use or lawful special use.
Office. A use that engages in the processing, manipulation or application of business information or professional expertise. An "Office" may or may not offer services to the public. An "Office" is not materially involved in fabricating, assembling or warehousing physical products for the retail or wholesale market, nor is an office engaged in the repair of products or retail services. It is characteristic of an "Office" that retail or wholesale goods are not shown on the premises to a customer. Examples include, but are not limited to, professional offices for non-profit organizations, advertising, accounting, investment services, insurance, contracting, architecture, planning, engineering, legal services and real estate services. "Office" does not include "Financial Institution" or "Government Facility."
Off-premises sign. A sign that advertises a business, service or product but is not located on the premises where the business or service is located or the product is available for sale.
Outdoor dining. A seating area located outdoors of a contiguous restaurant, usually in addition to an indoor seating area.
Outdoor display and sales area. Part of a lot used for outdoor sales and/or display of goods accessory to the principal use.
Outdoor fireplace. An accessory structure designed to contain a fire for heating and/or cooking.
Outdoor kitchenette. A complete cooking facility located outdoors typically involving a sink, stove or similar cooking range appliance, and a food preparation counter.
Outdoor lighting. Any artificial light source that is installed or mounted outside of a building, but not including street lights installed or maintained by the Village along public streets.
Outdoor storage. The keeping of any goods, material, merchandise or equipment not within an enclosed building, including incidental maintenance and repair of the material that is being stored.
Owner. The titleholder of record or, if title is held in a land trust, the beneficiary of the trust.
Park/playground. A facility designed to serve the recreation needs of the residents of the community. "Parks" include, but are not limited to, ballfields, football fields, soccer fields, basketball courts, tennis courts, paddle tennis facilities, playgrounds and accessory park district structures that may have indoor recreation facilities whether owned and/or managed by local government, not for profit groups or privately.
Parking lot - principal use. An open, hard-surfaced area, other than street or public way, available to the public, to be used for the storage, for limited periods of time, of operable passenger automobiles and commercial vehicles. Such storage may be for compensation, free or as an off-site accommodation to residents of a multi-family dwelling, or clients and customers of a business.
Parking space. An area, enclosed or unenclosed, which is reserved or intended for the parking of one (1) motor vehicle, and which is accessible to and from a street or alley.
Parking structure - principal use. A structure composed of multiple levels or floors used for the parking or storage of motor vehicles.
Party wall. A wall starting from the foundation and extending continuously through all stories to or above the roof, that separates one (1) building from another, but is in joint use by each building.
Patio. An impervious surface at grade designed and intended for recreational use by people and not as a parking space.
Pawn shop. An establishment that lends money on the deposit or pledge of physically delivered personal property, and who may also purchase of such property on the condition of selling it back again at a stipulated price. "Pawn Shop" includes establishments that buy personal property, such as jewelry or artwork, made of gold or other valuable metals for refining. Consignment shops and antique shops are not considered "Pawn Shops."
Performance standards. Criteria to control noise, odor, smoke, toxic or noxious matter, vibration, fire, and explosive hazards, or glare of heat generated by or inherent in use of land or buildings.
Pergola. A structure of parallel columns supporting an open roof of beams and crossing rafters.
Permanently installed stand-by generator. A device for generating electrical energy that provides temporary power during incidental power outages and emergency power outages due to storms and other natural and/or man-made disasters.
Person or entity. An association, corporation, partnership, limited liability company, organization, proprietorship, trust or individual.
Personal services establishment. An establishment or place of business primarily engaged in the provision of frequent or recurrent needed services of a personal nature. Typical uses include, but are not limited to, beauty shops, barbershops, tanning salons, massage salons, shoe repair, Laundromats, dry cleaners and tailors. This does not include "Art Studios," "Financial Institutions" and "Medical/Dental Clinics."
Pet day care service. An establishment where pet animals owned by another person are boarded for the day, and services such as grooming and pet training are offered. "Pet Day Care Service" may include accessory retail sales on the site.
Place of worship. A building, together with its accessory buildings and uses, where persons regularly assemble for religious purposes and related social events and which, together with its accessory buildings and uses, is maintained and controlled by a religious body organized to sustain religious ceremonies and purposes. A "Place of Worship" may include accessory uses operated by the religious body such as group housing for persons under religious vows or orders, day care facilities and/or weekly religious instruction.
Play house. A detached accessory structure used for recreation and is not considered to be a habitable residence.
Pool hall. An establishment that provides, as a principal use, pool or billiard tables or a combination thereof for customer use.
Pool house/cabana. A detached accessory structure designed for use with a swimming pool or spa, which typically maintains facilities for changing clothes, storing swimming equipment and supplies, and minimal sanitary facilities.
Porch. A structure, which is open on two (2) or more sides, that projects from the exterior wall of a building, has direct access to the street level of the building, and is covered by a roof or eaves that may be supported by posts and has no roof-supporting walls.
Porch, front. A porch serving the primary entrance to the principal structure.
Principal building or principal structure. A non-accessory structure in which a principal use of the lot on which it is located is conducted.
Principal use. The main use of land or structure as distinguished from an accessory use.
Printing or photocopying establishment. A facility for the custom reproduction of written or graphic materials on a custom order basis for individuals or businesses. Typical processes include, but are not limited to, photocopying, lithography, screen printing, and other forms of offset printing.
Private club. Any association, person, firm, or corporation excluding the general public from its premises or exercising control over any other place where only members and guests of members, accompanied by a member, are admitted.
Processing organization or processor means a facility operated by an organization or business that is licensed by the Department of Agriculture to either extract constituent chemicals or compounds to produce cannabis concentrate or incorporate cannabis or cannabis concentrate into a product formulation to produce a cannabis product.
Public safety facility. Facilities operated by public safety agencies including fire stations and other fire prevention and firefighting facilities, and police and sheriff substations and headquarters, including interim incarceration facilities. The vehicles of fire and police may be dispatched, stored and/or maintained within the "Public Safety Facility."
Public use area (for parking standard calculations). The area within a use where the public or a substantial number of the public has access to, including but not limited to, such areas as dining rooms, restrooms, bar seating, display areas, etc.
Public works facility. All production, storage, transmission and recovery facilities for water, sewer, telephone and other similar utilities owned or operated by any public agency or utility. This includes any municipal repair, storage or production facility or public works yard, as well as any accessory office or meeting rooms. Municipal vehicles may be dispatched, stored and/or maintained within the "Engineering and Public Works Facility." "Engineering and Public Works Facility" does not include "Public Safety Facility."
Recreation center. A building or enclosed structure, operated by a government agency for use by the public, which contains recreational facilities, including but not limited to racquet courts, swimming pools, auditoriums, ice rinks and/or gymnasiums. A recreation center shall include outdoor facilities which are immediately adjacent to or accessed through the building or enclosed structure, including but not limited to outdoor amphitheaters, racquet courts, ice rinks and swimming pools, and further shall include any accessory office, museum, restaurant, concession stand, picnic tables, pro shop, maintenance building, restroom facility, boating or boat storage facility, or similar accessory use or structure.
Recreational use. A structure, equipment, or activity that is used to facilitate sport, exercise, hobby, craft, or pastime that is incidental to and associated with a residential use located on the same lot.
Recreational vehicle. A vehicular unit, which is designed as a temporary dwelling for travel, recreation and vacation use, and which is self-propelled, mounted on or pulled by another vehicle. Examples include, but are not limited to, a travel trailer, camping trailer, truck camper, motor home, fifth-wheel trailer, or van.
Related party. Person(s) related to each other by blood, marriage, adoption or civil union, or entities whose officers, trustees, shareholders, partners or members are either the same person or are related to each other by blood, marriage, adoption or civil union.
Research and development facility. An establishment where research and development is conducted in industries that include, but are not limited to, biotechnology, pharmaceuticals, medical instrumentation or supplies, communications and information technology, electronics and instrumentation, and computer hardware and software. "Research and Development Facility" does not involve the manufacture, fabrication, processing or sale of products, with the exception of prototype development.
Residential care facility. A group care facility, which may or may not be licensed by the state, for twenty-four (24) hour medical or non-medical care of persons in need of personal services, supervision or assistance essential for sustaining the activities of daily living, or for the protection of the individual. Residential care facility includes nursing care, assisted living, and continuum of care facilities.
Restaurant, carry-out/delivery. An establishment maintained, operated, or advertised or held out to the public as a place where food, beverage or desserts are served in disposable containers or wrappers from a serving counter for consumption off the premises, or are prepared and then delivered by messenger, via a vehicle, bicycle or by foot to the persons placing the food order.
Restaurant, full service. An establishment where food and/or beverages are prepared, served and consumed, and whose principal method of operation includes providing customers with an individual menu and serving food and beverages by a restaurant employee at the same table or counter where the items are consumed.
Restaurant, limited service. A establishment, which may be part of a chain of fast food outlets, whose design or principal method of operation includes three (3) or more of the following characteristics:
(1)
A permanent menu board is provided from which to select and order food;
(2)
Standardized floor plans, architecture and/or sign design are used over several locations;
(3)
Customers pay for food before consuming it;
(4)
A self-service condiment bar is provided;
(5)
Trash receptacles are provided for self-service bussing;
(6)
Furnishing plan indicates hard-finished, stationary seating arrangements;
(7)
Drive-through service is offered; and
(8)
Most main course food items are prepackaged rather than made to order.
Restaurant, specialty. An establishment whose primary business is the sale of a single specialty type of food or beverage that is not considered a complete meal (e.g., baked goods, candy, coffee, or ice cream). The sale of other food, beverages or merchandise is incidental to the sale of the specialty food or beverage.
Retail goods establishment. A building, property, or activity that provides physical goods, products or merchandise directly to the consumer, where such goods are typically available for immediate purchase and removal from the premises by the purchaser.
Retail Goods Establishment - PCD-1. A building, property, or activity that provides physical goods, products or merchandise directly to the consumer, where such goods are typically available for immediate purchase and removal from the premises by the purchaser; or delivered to or caused to be delivered to the purchaser when the point of sale is at the same premises where the physical goods, products or merchandise was ordered; except for those Retail Goods Establishments that:
1.
Generate less than 50% of its gross receipts from the sales of goods;
2.
Generate more than 50% of its gross receipts from the sales of goods at a price of $5 or less; or
3.
Is a resale shop, pawn shop, consignment shop, or other similar establishment shall not be considered Retail Good Establishments - PCD-1.
Roof, flat. A roof having a pitch of not more than 3 inches to 12 inches.
Satellite dish antenna. A dish antenna designed for transmitting signals to a receiver or receiving station or for receiving television, radio, data, communication or other signals from other antennas, satellites or other services.
Shed. A relatively small accessory building often purchased pre-built or as a kit in pre-fabricated sections. It is not designed to be served by heat, electricity, or plumbing and does not need to be placed on a permanent foundation.
Sign. A name, identification, description, display, illustration or attention-getting device which is affixed to or painted or represented directly or indirectly upon a building or other outdoor surface or lot, and which directs attention to a person, business, product, service, place, organization or entertainment. "Sign" does not include the flag of any nation, state or governmental entity.
Sign, awning. A sign displayed on the face or valance of an awning.
Sign, banner. Any sign printed or displayed upon cloth or other flexible material with or without frames. A banner, in compliance with the regulations of this Ordinance, is not considered an "Attention-Getting Device."
Sign, box. A sign, containing multiple letters, symbols, and/or logos in a single cabinet whose face is flat and parallel to the front facade of a building, whose sides are perpendicular to and attached to that facade, and which may or may not be internally illuminated.
Sign, construction. A temporary sign identifying an architect, contractor, subcontractor and/or material supplier participating in construction on the property on which the sign is located and which may identify the proposed use for the property.
Sign, construction fencing. Signage that is affixed to a construction fence, when such construction fence is required to be erected and maintained as part of a construction project.
Sign, directional. A sign that identifies parking lot entrances and exits, restrooms, public telephone, walkways, parking lot entrances and exits, and features of a similar nature.
Sign, directory. A sign that serves as common or collective classification for a group of persons or businesses operating on the same zoning lot (e.g., shopping center, office complex, etc.). Such sign may name the persons or businesses included, but carry no other advertising matter.
Sign, flashing. A sign which contains an intermittent or sequential flashing light source used primarily to attract attention.
Sign, ground. A sign that is supported by a pole or other form of ground support, which is independent of a building. A pole or other similar structure may itself be a ground sign.
Sign, menu board. A device that functions to list items for sale at an establishment with drive-through facilities.
Sign, municipal. A sign erected and maintained pursuant to, and in discharge of, any municipal functions or as required by law, including but not limited to, speed limit signs, stop signs, Village limit signs, street name signs, historical or government sites, and directional signs.
Sign, non-conforming. A sign lawfully erected and maintained prior to the adoption of this Ordinance that does not conform to the requirements of this Ordinance.
Sign, portable. A sign whose principal supporting structure is intended, by design and construction, to be used by resting upon the ground for support and may be easily moved or relocated for reuse. Portable signs include but are not limited to signs mounted upon a trailer, wheeled carrier or other non-motorized mobile structure, with wheels or with wheels removed. "Portable Sign" does not include "Sidewalk Signs."
Sign, projecting. Any sign that is attached to a building or other structure, and extends beyond the surface of the building or structure to which it is attached.
Sign, roof. Any sign wholly erected, constructed, or maintained above the roof structure or parapet of any structure with the principal support attached to the roof structure.
Sign, sidewalk. A sign placed either on a private sidewalk along the frontage of the building or establishment to which it relates, or on a public sidewalk and along the frontage and on the same side of the street of the building or establishment to which they relate.
Sign, wall. A sign mounted flat against and projecting less than twelve (12) inches from the wall of a building or structure with the exposed face of the sign in a plane parallel to the face of the wall. "Wall Sign" does not include "Window Sign" or "Box Sign."
Sign, window. A sign attached to, placed upon, or printed on the interior or exterior of a window or door of a building intended for viewing from the exterior of such a building. A "Window Sign" may be either permanent or temporary.
Sign, window wrap. A display that is made of film, vinyl or polymer that is placed on and covering an exterior facing window of a storefront.
Social club or lodge. A private not-for-profit association, corporation or other entity that has a limited membership and elected officers pursuant to its bylaws that excludes the general public from its premises and holds all property for the common benefit of its members. "Social Club or Lodge" does not include an establishment that permits non-members to pay a temporary membership fee at the door in order to enter and use the premises.
Solar panel. A device that collects and converts direct sunlight as a source of energy for such purposes as heating or cooling a structure, heating or pumping water, or generating electricity. "Solar Panel" includes solar thermal panels.
Spa or hot tub. A man-made rigid or semi-rigid receptacle for water having a depth at any one (1) point greater than one (1) foot, but less than three (3) feet, or having a volume greater than eighty (80) gallons, but less than two thousand five hundred (2,500) gallons, used or intended to be used for bathing, wading, floating, or soaking, and constructed, installed or maintained in or above ground, and which is used exclusively by the owner or occupant of the property on which it is located, his family and his guests.
Sport court. An outdoor at-grade structure for recreational use, typically paved or consisting of a man-made surface. A "Sport Court" includes basketball courts, tennis courts and courts that are designed for multiple recreational activities.
Stacking space. A space specifically designated as a waiting area for vehicles patronizing a drive-through facility.
Stoop. An exterior floor typically, but not necessarily, constructed of concrete and/or masonry, with a finished floor elevation higher than the adjacent ground level, often with steps leading up to it, and utilized primarily as an access platform to a building.
Storefront. A room or set of rooms facing the street on the ground floor of a commercial building used for institutional or commercial activity.
Story. That portion of a structure included between the upper surface of any floor and the upper surface of the floor next above it, except that the topmost story is that portion of a structure included between the upper surface of the topmost floor and the ceiling or roof above it. The floor of a story may have split levels provided that there is not more than a four (4)-foot difference in elevation between the different levels of the floor. A mezzanine floor is counted as a story when it covers more than one-third (1/3) of the area of the floor next below it, or if the vertical distance from the floor next below it to the floor, ceiling or roof next above it is twenty-two (22) feet or more. "Story" does not include any such area having part of its ceiling height below grade. For the purposes of calculating floor area for single-family and two-unit dwellings, a maximum story height of eleven (11) feet must be used.
Story, half. A story under a gable, hip or gambrel roof, measured as described in Section 30-2.5.
Street level. The story of a building that has its floor at the closest level to the street, with direct pedestrian access to that story from the outside.
Street wall. The wall of a building nearest to and facing on a street.
Structural alteration. A change in the supporting members of a structure, such as bearing walls, columns, beams, or girders, or any substantial change in the roof line or in the exterior walls which does not increase any exterior dimension, excluding such repair or replacement as may be required for the safety of the structure.
Structure. Anything constructed or erected that requires location on the ground or attached to something having location on the ground. "Structure" does not include "Tree House."
Swimming pool. A man-made rigid or semi-rigid receptacle for water which has a depth at any point greater than eighteen (18) inches, which is used or intended to be used for swimming or bathing, which is constructed, installed or maintained in or above ground, and which is used exclusively by the owner or occupant of the property on which it is located, his family, and his guests.
Temporary contractor trailer. This use includes watchman's trailers, construction equipment sheds, contractor trailers and similar uses incidental to a construction project and sales of homes within a newly constructed development.
Transporting organization or transporter means an organization or business that is licensed by the Department of Agriculture to transport cannabis on behalf of a cannabis business establishment or a community college licensed under the Community College Cannabis Vocational Training Pilot Program.
Tree house. A detached accessory structure that is supported by 1) one or more trees 2) a combination of trees and ground support elements or 3) ground supports and surrounding a tree, that is used for recreation and is not considered to be a habitable residence.
Trellis. A frame or panel of latticework used as a screen or as a support for climbing shrubs or plants.
Twenty-four-hour business. A business, other than one engaged in public transportation or livery service, that is open to the public, accepts deliveries from a vehicle with above D Illinois commercial vehicle license plates or equivalent out-of-state truck license plates, or engages in any outdoor operations or activities related to the business between the hours of 1:00 a.m. and 5:30 a.m. Responding to an emergency request for service between 1:00 a.m. and 5:30 a.m. because of an imminent danger to person or property is not considered a commercial activity within the Village during those hours.
Unit of local government. The Village itself, a public school district, public library district, or public park district governed by a board or commission elected by the residents of the Village.
Unusual recreational use. A recreational use that is of such a scale or operated in such a way that it has visual impact or noise impact that is not typically or customarily found on a residential lot.
Use. The purpose or activity for which the land or structure is designed, arranged or intended, or for which it is occupied or maintained.
Use, intensity. A measure of the amount of development contained on a lot, measured in terms of square feet of active business use for commercial activities or density of dwelling units for residential activities.
Use, permitted. A use permitted in a zoning district without the need for special administrative review and approval, upon satisfaction of the standards and requirements of this Ordinance.
Use, special. A use that owing to some special characteristics attendant to its operation or installation is permitted in a zoning district only after review, and is subject to approval by the Village Board.
Utility. Utilities that are not subject to Village acceptance for operation or maintenance. For purposes of this Ordinance, private utilities include natural gas lines, power lines, telephone lines, cable television lines, fiber optic lines and other communication lines, their appurtenances and components and the utility companies' operation, maintenance, repair and replacement of same. Aboveground private utility structures, such as pedestals for cable wire access or other access points for underground infrastructure (communications wiring, fiber optic, etc.) are considered a "Utility."
Valance. The unsecured edge of an awning or canopy that projects below the bottom of the frame supporting the awning or canopy.
Vibration. The periodic displacement, measured in inches, of earth at designated frequency of cycles per second.
Wall. Any un-roofed man-made structure of concrete, stone, brick, tile, wood or similar type of material which has a foundation.
Wall, retaining. A wall or terraced combination of walls used to retain soil or similar material, that is not used to support, provide a foundation for, or provide a wall for a building or structure.
Warehouse/distribution. The storage, wholesale and distribution of manufactured products, supplies and equipment.
Water garden. Any ornamental tub, pool, or other natural or artificial water container planted with aquatic plants. "Water Garden" shall not include "Swimming Pools," or "Spas or Hot Tubs."
Wind turbine. A building-mounted or tower-mounted wind energy production system that is accessory to the principal use and intended to primarily reduce on-site consumption of utility power by the uses on the site. However, energy produced in excess of on-site consumption may be sold back to the utility power service provider.
Window well. An enclosure installed below grade that retains the earth around a window that is either entirely or partially below grade and is constructed for the purpose of egress from a below-grade space during an emergency and/or to provide light and ventilation to a basement.
Wireless telecommunications equipment. A specific device, the surface of which is used to transmit and/or receive radio-frequency signals, microwave signals, or other signals transmitted to or from other antennas. "Wireless Telecommunications Equipment" does not include "Satellite Dish Antenna." "Wireless Telecommunications Equipment" includes un-staffed structures used to house and protect the equipment necessary for processing telecommunications signals, which may include air conditioning equipment and emergency generators, and towers designed and constructed to support one (1) or more antennas and including all appurtenant devices attached to it.
Yard. A required open, unoccupied space on a lot, unobstructed from the ground to the sky, except for those encroachments allowed by this Ordinance.
Yard, established front - residential. The computed front yard setback as described in Section 30-2.5.
Yard, front. A yard extending along the full length of a front lot line and back to a line drawn parallel to the front lot line at a distance equal to the depth of the required front yard.
Yard, interior side. A yard extending between the required front yard line to the required rear yard line along the interior side lot line at a width equal to the depth of the required interior side yard.
Yard, rear. A yard extending along the full length of the rear lot line and back to a line drawn parallel to the rear lot line at a distance equal to the depth of the required rear yard.
Yard, side adjoining a street. A yard extending between the required front yard line to the rear lot line parallel to a lot line abutting a street at a width equal to the depth of the required side yard adjoining a street.
Yard, side combined. The combined width of the two (2) side yards, which are bounded by the rear yard setback line, the front yard setback line, both side yard setback lines, (which when added together meets the combined side yard setbacks requirements for the property), and both side property lines. For the purpose of meeting the minimum combined side yard setback requirements, this is measured from the closest point of each side of the principal structure to both side lot lines.
Zoning lot. A single tract of land located within a single block which, at the time of filing for a building permit, is designated by its owner or developer as a tract to be used, developed, or built upon as a unit, under single ownership or control. A "Zoning Lot" may or may not coincide with a "Lot of Record."
(Code 1993, § 20-2.4; Ord. No. 2014-O-65, 11-11-2014; Ord. No. 2015-O-13, 4-14-2015; Ord. No. 2017-O- 59, 10-10-2017; Ord. No. 2018-O-57, § 2, 10-25-2018; Ord. No. 2019-O-18, § 2, 5-14-2019; Ord. No. 2019-O-63, § 5, 10-22-2019; Ord. No. 2021-O-71, § 3, 11-23-2021; Ord. No. 2023-O-33, § 2, 7-11-2023; Ord. No. 2023-O-57, § 2, 8-8-2023; Ord. No. 2024-O-35, § 2, 6-11-2024; Ord. No. 2025-O-19, § 2, 3-11-2025; Ord. No. 2025-O-48, § 2, 6-10-2025)
(a)
Lot Dimensions.
(1)
Lot area. The computed area of the zoning lot contained within the lot lines.
For purposes of calculating maximum lot coverage and floor area for detached dwellings, group homes, day care homes and limited day care homes on property bounded on at least one side by the ordinary high water mark of a body of water, as defined in chapter 8, article XXIX, Appendix 9A of the Village Code, the area of the lot shall be determined using the mean lake elevation of 579' above sea-level in place of the lot line which is the ordinary high water mark.
(2)
Lot depth. "Lot Depth" is determined as follows:
(A)
The mean of the length of the two side lot lines or, where the lot has more than two side lot lines, the length of the longest line which is perpendicular to the front lot line and runs to the rear lot line (Figure 2-9).
(B)
For property with a rear lot line that is the ordinary high water mark of a body of water, as defined in chapter 8, article XXIX, Appendix 9A of the Village Code, the minimum rear yard setback along that rear lot line shall be measured from the mean lake elevation of 579' above sea level, but in no case shall the minimum rear yard setback be less than the base floodplain elevation as provided in chapter 8, article XXIX, Appendix 9A of the Village Code.
(3)
Lot width. "Lot Width" is determined as follows:
(A)
If the side property lines are parallel, the shortest distance between these parallel side lot lines at any point within the lot.
(B)
If the side property lines are not parallel, the length of a line at right angles to the axis of the lot at a distance equal to the front yard line required for the district in which the lot is located or thirty (30) feet to the rear of the front yard line, whichever results in the lesser width. The axis of a lot is a line joining the midpoints of the front and rear property lines.
FIGURE 2-8: LOT DIMENSIONS
FIGURE 2-9: REAR LOT LINE AND LOT DEPTH FOR IRREGULAR SHAPED LOTS
FIGURE 2-10: LOT WIDTH
(b)
Established Front Yard Setback - Residential. The established front yard shall be calculated as the average of the existing front yard setbacks as measured from the front lot line to the principal structure along the same side of the street and on the same block. Where there are five (5) or more principal structures on said block, the shortest and longest setbacks shall be eliminated in the making of the computation. The established front yard setback shall be permanently set using the principal structure locations of said block as of July 1, 2003.
(c)
Height. The vertical distance from grade to the highest point of the roof of a building or the highest point of a structure.
The height of the principal structure shall be measured from calculated grade.
The height of any accessory structure, except a fence, shall be measured from the average abutting grade.
The height of a fence, at any point along the fence, shall be measured from adjacent grade.
FIGURE 2-11: HEIGHT FOR PITCHED ROOF
(d)
Flat Roof. For the purpose of determining the maximum height of a single-family or two-unit dwelling, the dwelling shall be determined to have a flat roof if the area of the roof that is flat is greater than twenty-five percent (25%) of the area of the second floor.
If a dormer with a roof pitch of not more than 3 inches to 12 inches is contiguous to an area under a flat roof, the dormer shall be considered an extension of the flat roof if the dormer extends from a point 12" inches or less from the roof peak.
(e)
Half Story. For the purpose of determining the maximum height of a single-family or two-unit dwelling, the dwelling shall be determined to have a half story when no more than twenty-five percent (25%) of the floor area is located under dormers or other outward projections from the basic planes of the roof and has knee walls not exceeding two (2) feet in height to the bottom of the roof rafters.
(f)
Floor Area. For the purpose of determining the floor area of the principal building and all accessory buildings and structures on the lot, floor area shall mean the sum of the gross horizontal area of the several floors of a building, measured from the exterior faces of the exterior walls, or from the center line of party walls. This shall be measured to the exterior of building cladding greater than three (3) feet above grade and/or building cladding greater than three (3) feet above the floor level for any floor above the first floor.
(1)
For single-family, two-unit, townhouse/stacked flat and multi-family dwellings, this shall include the following:
(A)
One hundred percent (100%) of the area of a basement, if four (4) feet or more of the height of the basement projects above grade as measured from grade to the top of the first finished floor on structures built after July 1, 2003 in all districts except R and R1; and
(B)
One hundred percent (100%) of the area of a basement, if five (5) feet or more of the height of the basement projects above grade as measured from grade to the top of the first finished floor on structures built on or before July 1, 2003 in all districts except R and R1; and
(C)
One hundred percent (100%) of the area of a basement, if the height of the first floor exceeds that shown on Table 8-3: R1 Sub-District Residential Zoning Districts Bulk and Yard Regulations for the R and R1 zoning districts; and
(D)
One hundred percent (100%) of the area of any portion of a basement that projects seven (7) feet or more above the existing adjacent grade on a downward sloping lot; and
(E)
One hundred percent (100%) of the area of a garage or carport; and
(F)
One hundred percent (100%) of the floor area of any part of an attic, if that part has a height from floor or upper limits of the story below to bottom of rafters of six feet, nine inches (6' 9"), or more; and
(G)
One hundred percent (100%) of the area of any part of a story above the first story, if that part has a height from floor or upper limits of the story below to bottom of the story or half-story above of six feet, nine inches (6' 9"), or more; and
(H)
One hundred percent (100%) of the area below a habitable overhang; and
(I)
One hundred percent (100%) of the area of a covered porch, covered balcony or similar roofed exterior space where the element exceeds three (3) feet from the wall of the principal structure; and
(J)
One hundred percent (100%) of the area of a roofed accessory building or structure, such as a shed, gazebo, beach house/cabana, boat house, tree house or play house, or similar structure, when the total area of the accessory building or structure is in excess of sixty-four (64) square feet; and
(K)
One hundred percent (100%) of the area of a pergola, arbor or similar roofed structure if the roof beams and rafters combined comprise a roof structure that is less than eighty-five percent (85%) open or seventy-five percent (75%) of a pergola, arbor or similar roofed structure if the roof beams and rafters taken together comprise a roof structure that is at least eighty-five percent (85%) open. However, arbors meeting the standards combined in Section 30-13.4.(c) shall not be counted towards total floor area; and
(L)
Seventy-five percent (75%) of the area of an awning, canopy or similar element without ground supports, that exceeds three (3) feet in depth from the wall of the principal structure; and
(M)
One hundred percent (100%) of the area under eaves erected after July 1, 2003 that exceed three (3) feet in depth from the wall of the principal structure; and
(N)
Seventy-five percent (75%) of the area of an open balcony; and
(O)
Fifty percent (50%) of the area of a deck, if the deck and/or its railing project more than six feet, six inches (6' 6") above the existing adjacent grade; and
(P)
Fifty percent (50%) of the area of a deck when any portion of the deck and/or its railing project more than six feet, six inches (6' 6") above the existing adjacent grade on a downward sloping lot; and
(Q)
Any open two (2) story element (an interior space which has a clear height of one (1) story plus six feet, nine inches (6' 9") or more) shall be counted twice in calculating the floor area of the building, and any open three (3) story element (an interior space which has a clear height of two (2) stories plus six feet, nine inches (6' 9") or more) shall be counted three (3) times in calculating the floor area of the building. For this purpose, a maximum story height of eleven (11) feet shall be used; and
(R)
The floor area of a story directly below an attic (or a partial story), with a height from floor or upper limits of the story below to bottom of the attic (or partial story) rafters of seventeen feet, nine inches (17' 9") or greater shall be counted twice.
(2)
For mixed use and non-residential structures, this shall include the following:
(A)
One hundred percent (100%) of the first floor with a clear ceiling height of twenty-one (21) feet or less; and
(B)
Any open two (2) story element (an interior space which has a clear height of twenty-one (21) feet plus eleven (11) feet or more shall be counted twice in calculating the floor area of the building, and any open three (3) story element (an interior space which has a clear height of forty-two (42) feet plus eleven (11) feet or more) shall be counted three (3) times in calculating the floor area of the building; and
(C)
One hundred percent (100%) of the area of a basement, if four (4) feet or more of the height of the basement projects above grade as measured from grade to the top of the first finished floor on structures built after July 1, 2003; and
(D)
One hundred percent (100%) of the area of a basement, if five (5) feet or more of the height of the basement projects above grade as measured from grade to the top of the first finished floor on structures built on or before July 1, 2003; and
(E)
One hundred percent (100%) of the area of any portion of a basement that projects seven (7) feet or more above the existing adjacent grade on a downward sloping lot; and
(F)
One hundred percent (100%) of the area of a garage or carport; and
(G)
One hundred percent (100%) of the area of a roofed accessory building or structure, such as a shed, gazebo, detached pergola, beach house/cabana, boat house, tree house or play house, or similar structure; and
(H)
One hundred percent (100%) of the floor area of any part of an attic, if that part has a height from floor or upper limits of the story below to bottom of rafters of six feet, nine inches (6' 9"), or more; and
(I)
One hundred percent (100%) of the floor area of any part of a story above the first story, if that part has a height from floor or upper limits of the story below to bottom of the story or half-story above of six feet, nine inches (6' 9"), or more; and
(J)
One hundred percent (100%) of the area of a covered porch, covered balcony, or similar roofed exterior space; and
(K)
One hundred percent (100%) of any area below a habitable overhang; and
(L)
Fifty percent (50%) of the area of a deck, if the deck and/or its railing project more than six feet, six inches (6' 6") above the existing adjacent grade; and
(M)
For property that slopes downward towards a rear lot line the portion of a deck and/or its railing that projects more than six feet, six inches (6' 6") above the existing adjacent grade shall be counted at fifty percent (50%); and
(N)
One hundred percent (100%) of eaves erected after July 1, 2003 which exceed three (3) feet in depth from the wall of the principal structure; and
(O)
Seventy-five percent (75%) of the area of an open balcony; and
(P)
Seventy-five percent (75%) of the area of an awning, canopy or similar element without ground supports; and
(Q)
One hundred percent (100%) of the area of a pergola, arbor or similar roofed structure if the roof beams and rafters combined comprise a roof structure that is less than eighty-five percent (85%) open or seventy-five percent (75%) of a pergola, arbor or similar roofed structure if the roof beams and rafters taken together comprise a roof structure that is at least eighty-five percent (85%) open. However, arbors meeting the standards combined in Section 30-13.4.(c) shall not be counted towards total floor area.
(g)
Garage Floor Area Bonus. The garage floor area bonus shall be calculated in accordance with Table 8-2: R, R2, R3 and R4 Residential Zoning Districts Bulk and Yard Regulations, Table 8-3: R1 Sub-District Residential Zoning Districts Bulk and Yard Regulations and Table 8-4: Contextual Bulk Regulations.
(1)
Up to an additional four hundred and forty (440) square feet in excess of the floor area limit established in Table 8-2, Table 8-3 and Table 8-4 may be occupied by a detached or attached garage.
(2)
Up to an additional two hundred (200) square feet in excess of the floor area limit established in Table 8-2, Table 8-3 and Table 8-4 may be occupied by a detached shed.
(3)
The total additional area for a detached or attached garage in combination with a detached shed shall not exceed a total of four hundred and forty (440) square feet.
(4)
A roofed, open sided parking space (carport) shall be eligible for the garage floor area bonus.
(h)
Front Porch Floor Area Bonus.
(1)
The front porch floor area bonus shall be in accordance with Table 8-2, Table 8-3, and Table 8-4.
(2)
The front porch floor area bonus shall be provided for a front porch provided that the porch is no more than one (1) story in height, is covered by a roof or eave, and has no space above the porch which would be included in the calculation of the floor area.
(3)
In the event that there is more than one porch eligible for the front porch floor area bonus, the bonus shall apply to the porch that serves the primary entrance.
(i)
Attic Floor Area Bonus.
(1)
The attic floor bonus shall be calculated in accordance with Table 8-2, Table 8-3, and Table 8-4.
(2)
In order to receive the attic floor area bonus, the attic space must be above the second floor and below the roof rafters.
(j)
Lot Coverage. The portion of a lot that is occupied by buildings or structures. This shall be measured to the exterior of the building cladding greater than three (3) feet above grade and shall include the following:
(1)
One hundred percent (100%) of the footprint of a principal structure; and
(2)
One hundred percent (100%) of a below-grade structure (i.e., a basement) located less than ten (10) feet below grade when there is no structure that otherwise qualifies as lot coverage or floor area above it; and
(3)
One hundred percent (100%) of the footprint of a garage or carport; and
(4)
One hundred percent (100%) of the footprint of a roofed accessory building or structure, such as a shed, gazebo, beach house/cabana, boat house, tree house or play house, or similar structure, when the total area of the accessory building or structure is in excess of sixty-four (64) square feet; and
(5)
One hundred percent (100%) of the footprint of a pergola, arbor or similar roofed structure if the roof beams and rafters combined comprise a roof structure that is less than eighty-five percent (85%) open or seventy-five percent (75%) of a pergola, arbor or similar roofed structure if the roof beams and rafters taken together comprise a roof structure that is at least eighty-five percent (85%) open. However, arbors meeting the standards combined in Section 30-13.4.(c) shall not be counted towards total floor area;
(6)
One hundred percent (100%) of the footprint of a fireplace or chimney, whether attached to or detached from, a principal structure; and
(7)
One hundred percent (100%) of the footprint of architectural features attached to a structure, including but not limited to wing walls.
(k)
Fence Openness. For the purpose of Section 30-13.4.(h), fence openness is measured as follows:
(1)
An open fence is a fence that has over its entirety at least fifty percent (50%) of its surface area in open space which affords a direct view through the fence from eye level at a position perpendicular to the fence.
(2)
A solid fence is a fence that has over its entirety less than fifty percent (50%) of its surface area in open space which affords a direct view through the fence from eye level at a position perpendicular to the fence.
(Code 1993, § 20-2.5; Ord. No. 2014-O-65, 11-11-2014; Ord. No. 2015-O-13, 4-14-2015; Ord. No. 2017-O-59, 10-10-2017)