- IN GENERAL
The purpose of this chapter is to serve the public health, safety and general welfare; to promote harmonious, convenient and workable relationships among land uses; to facilitate an efficient and safe traffic circulation system; to secure safety from fire and other dangers; to protect and enhance property values and the economic base of the city; to ensure the adequate provision of schools, parks, transportation, utilities and other public requirements; to avoid undue overcrowding of land or excessive population densities; to provide adequate open spaces for light and air; to enhance the appearance of the city; and to increase the social advantages resulting from orderly use of the land.
(Ord. No. 621; Code 1984, § 20001; Ord. No. 1562, § 2, 7-29-97)
(a)
[Generally.] All departments, officials or public employees vested with the authority to issue permits, certificates, or licenses, where required by law, shall conform to the provisions of this chapter. No license, certificate, or permit for uses, structures or purposes where the use, structure or purpose would be in conflict with the provisions of this chapter shall be issued, and if issued, shall be void.
(b)
Powers and duties of city officials; right of entry. The city council shall designate the department or division head, or other city official who shall be responsible for enforcement of this chapter, notwithstanding any provisions provided for by state statute. This designated person shall assign personnel under his or her supervision as may be necessary to enforce this chapter. The personnel shall have the right and authority to enter on or to any site or structure, provided that the right of entry shall be exercised at reasonable hours. In no circumstances shall any structure be entered in the absence of the owner, tenant or other lawful occupant or agent unless express consent of the owner, tenant or lawful occupant or agent is obtained prior to entry or when entry is authorized pursuant to a written court order of competent jurisdiction. The personnel may serve notice requiring the removal of any structure or use in violation of this chapter on the power of the authorized agent, on a tenant or an architect, builder, contractor or other person who commits or participates in any violation. This personnel may call upon the city attorney or the city attorney's designee to institute necessary legal proceedings to enforce the provisions of this chapter. The city attorney or the city attorney's designee is authorized to institute appropriate actions to that end.
(c)
Issuance of citations. Officers and employees of the city who have the discretionary duty to enforce a statute or ordinance may, pursuant to Penal Code § 836.5 and subject to the provisions thereof, arrest a person without a warrant whenever any officer or employee has reasonable cause to believe that the person to be arrested has committed a misdemeanor in the officer's or employee's presence or violated an ordinance which officer or employee has the discretionary duty to enforce, and to issue a notice to appear and to release such person on his written promise to appear in court, pursuant to Penal Code § 853.6.
(d)
Officers. Officers or employees shall not be allowed by their superior to exercise the arrest and citation authority conferred in this section unless the officer or employee is within a classification of city officers and employees designated by resolution of the city council to exercise such arrest and citation authority as to a specified misdemeanor or infraction.
(e)
Training and instruction of officers. The city shall establish and cause to be administered a special enforcement training program designed to instruct each officer or employee who will exercise such arrest and citation authority, regarding the provisions of the statutes and ordinances to be enforced, the evidentiary prerequisites to proper prosecution for violations thereof, the appropriate procedures for making arrests or otherwise prudently exercising such arrest and citation authority, and the legal and practical ramifications and limitations attendant thereto. Any officers or employees shall be appropriately instructed to deposit executed citations or notices within the office of the chief of police or the chief's designee for filing with the court, after review for legal sufficiency.
(f)
Penalties persons. Except as otherwise provided, any person violating any provision of this chapter shall be guilty of a misdemeanor, and upon conviction thereof shall be punishable by a fine of not more than $500.00 and by imprisonment for a term not exceeding six months, or by both a fine and imprisonment. A person shall be deemed guilty of a separate offense for each day during any portion of which a violation of this chapter is committed, continued or permitted by the person, and shall be punishable as provided in this section.
(g)
Penalties structures. Any structure erected, moved, altered, enlarged or maintained and any use of a site contrary to the provisions of this chapter is declared to be unlawful and a public nuisance, and the city attorney may institute necessary legal proceedings for the abatement, removal and enjoinment thereof in the manner provided by law, or may take such other steps as he deems necessary to accomplish these ends.
(h)
Penalties remedies. All remedies provided for in this section shall be cumulative and not exclusive. The conviction and punishment of any person under this section shall not relieve such person from the responsibility of correcting prohibited conditions or removing prohibited buildings, structures or improvements, or prevent the enforced correction or removal thereof.
(Ord. No. 621; Code 1984, § 20002; Ord. No. 1562, § 2, 7-29-97)
(a)
Precedence. No provision of this chapter is intended to abrogate or interfere with any deed restriction, covenant, easement or other agreement between parties; however, where this chapter imposes a greater restriction on the use of land or structures or on the height or bulk of structures, or requires greater open spaces or greater areas and dimensions of sites than are required by an existing ordinance or by an agreement between parties, this chapter shall control.
(b)
Minimum requirements. The provisions of this chapter shall be held to be minimum requirements in their application and interpretation. Whenever there is any question regarding the interpretation of the provisions of this chapter, the commission shall interpret the intent by resolution of record.
(c)
Determination of use not listed. When a use is not specifically listed as a permitted use or conditionally permitted use under a particular zone, the director, upon written request or upon the director's own initiative, shall determine whether the use is sufficiently similar to a listed use in one or more zones. The director's determination shall be based upon the following findings:
(1)
The proposed use would meet the objectives of the zone;
(2)
The proposed use and its operation are compatible with the uses permitted in the zone; and
(3)
The proposed use is similar to one or more uses in the zone.
The director shall notify the planning commission and city council of determination of use. Once the determination has been made the director shall initiate an amendment to the zoning ordinance.
(Ord. No. 621; Code 1984, § 20003; Ord. No. 1562, § 2, 7-29-97)
The following words, terms and phrases, when used in this chapter, shall have the meanings ascribed to them in this section, except where the context clearly indicates a different meaning. Words, terms and phrases which are not defined herein shall be as defined in a dictionary of common use, such as Webster's.
Access and accessway mean the place, means or way by which pedestrians and vehicles shall have safe, adequate and usable ingress and egress to a property or use as required by this chapter.
Accessory means a building, part of a building or structure, the use of which is subordinate to, and the use of which is incidental to, that of the main building, structure or use on the same lot. Where a substantial part of the wall of any accessory building is a part of the main building, or where an accessory building is attached to the main building in a substantial manner by a roof, such accessory building shall be deemed a part of the main building.
Accessory dwelling unit means an attached or detached dwelling unit, which provides complete independent living facilities for one or more persons. It shall include permanent provisions for living, sleeping, eating, cooking, and sanitation on the same parcel as the principal single-family home, and shall have independent exterior access.
Accessory structure means a detached structure subordinate to and located on the same lot as the principal structure.
Accessory use means a use of a building or site or a portion of a building or site which is customarily incidental or subordinate to the principal use conducted on or occupying a site.
Adult business has the meaning set forth in section 18-352.
Alley means a passage or way open to public travel which affords generally a secondary means of vehicular access to abutting lots and is not intended for general traffic circulation.
Animal hospital means a place where animals or pets are given medical or surgical treatment and are cared for during the time of such treatment. Use as a kennel shall be limited to short-time boarding, and shall be only incidental to such hospital use.
Apartment means a room or suite of two or more rooms with a single kitchen in a multiple dwelling, occupied or suitable for occupancy as a residence for one family.
Apartment, senior means an apartment specifically designed for independent living for retired individuals or couples, over the age of 55, where no meal service is provided.
Arcade means a business establishment providing as its principal use coin- or token-operated entertainment games. Establishments which have more than five coin- or token-operated entertainment games shall be considered an arcade.
Assisted living facility means a facility for more than six individuals offering assistance with basic activities of daily living such as bathing, grooming, and dressing. Assisted living facilities may offer medication assistance and/or reminders, but differ from a skilled nursing facility in that they do not offer complex medical services. The term "assisted living facility" shall include long-term care facility, rest home, memory support facility, or residential care facility for the elderly.
Bed and breakfast means a transient lodging establishment, generally in a single-family dwelling and/or detached guesthouses, primarily engaged in providing overnight or otherwise temporary lodging for the general public and may provide meals, for compensation.
Boarding house and lodging house shall mean a residence or dwelling, other than a hotel, wherein a room or rooms, with or without individual or group cooking facilities, are rented, leased or subleased under two or more separate written or oral rental agreements, leases or subleases, whether or not the owner, agent or rental manager resides within the dwelling unit. A boarding house or lodging house is subject to the provisions of article X, division 1 (boarding houses and group homes) in this chapter.
Bottled water distributors means establishments primarily engaged in the bottling and distribution of natural spring and mineral water.
Building means any structure having a roof supported by columns or walls, designed or used for the housing or enclosure of persons, animals, chattels or property of any kind, and shall include but not be limited to garages, carports, patio covers and gazebos.
Building height means the vertical distance measured from the average level of the highest and lowest point of that portion of the building site covered by the building to highest point of the structure, excluding chimneys and vents.
Building official means the Hemet Building Official.
Bulk food outlet means a wholesale or retail business primarily selling food and related products in bulk. The term "bulk," as used in this subsection, shall include but is not limited to products sold in large size containers, case lots or other larger undivided quantities. The term "bulk food outlet" shall not include a conventional neighborhood food market which primarily sells a wide range of individual, normal sized food products and household goods.
Carport means a permanent, roofed accessory building entirely open on two or more sides and used or intended to be used primarily for the shelter or storage of vehicles owned or operated by occupants of the main building.
City means the City of Hemet.
City clerk means the Hemet City Clerk.
City council means the Hemet City Council.
Club means an association of persons, whether incorporated or not, for a common purpose, but shall not include groups organized solely or primarily to render a service carried on as a business for profit.
Commercial coach means a factory-built structure, designed and equipped for human occupancy for industrial, professional or commercial purposes, transportable in one or more sections to a site and installed, which is required to be moved under permit.
Commission means the Hemet Planning Commission.
Common open space means that space upon a lot or parcel to which it is appurtenant, which can be used by and is accessible to all the inhabitants of the property for outside living, activity or recreation. It shall not include driveways, parking areas, utility space such as trash, transformer or laundry areas, or the area occupied by the required front yard.
Congregate care facility means the same as "assisted living facility."
Continuing care retirement community means a facility regulated by the State of California that provides a combination of independent living, assisted living, and skilled nursing services for senior citizens at one location for the duration of a resident's life generally under the terms of a lifetime contract.
Convalescent hospital or nursing home means the same as "skilled nursing facility."
Convenience store means a store that is open extended hours, generally less than 2,500 square feet in size, and stocks a limited selection of household goods, toiletries, groceries, snack foods, and prepared foods. A convenience store may be part of a gas station and/or licensed to sell tobacco products and alcohol.
County means Riverside County.
Council means the Hemet City Council.
Court means an open, unoccupied space other than a yard, on the same lot with a building or structure and bounded on two or more sides by such building or structure.
Coverage means the percentage of total site area covered by structures, open or enclosed, excluding the following uncovered structures: steps, courts, patios, terraces and swimming pools.
Cyber lounge has the same meaning as "game arcade."
Day spa means a business that provides a variety of services for the purpose of improving health and beauty through personal care treatments such as hair, nails, massage, facials, and waxing. A day spa is different from a beauty salon in that it generally contains facilities such as a sauna, pool, steam room, or whirlpool that guests may use in addition to their treatment.
Director means the Hemet Director of Community Development, or in the absence of such a position, the Hemet Director of Planning.
Dormitory means a room designed for or occupied as sleeping quarters by more than two persons. Each 100 square feet of floor area in a dormitory shall be deemed a guestroom.
Drive-in restaurant means any commercial establishment preparing and serving food where patrons may order and receive food in a motor vehicle.
Duplex means a building designed for occupancy by two families living independently of one another, and containing two dwelling units under one common roof.
Dwelling unit means one or more rooms, including bathroom(s) and a kitchen, designed, occupied or intended for use as a separate living quarter for one family, but shall not include motels, hotels, boardinghouses, bed and breakfasts, and lodging houses.
Dwelling, single-family residential means a structure containing one dwelling unit on an individual lot. The term "single-family residential dwelling" shall also mean a mobile home manufactured and certified under the National Mobile Home Construction and Safety Standards Act of 1974, on a permanent foundation approved by the city building official.
Establishment means a business or professional firm, organization or entity that is the sole occupant of all or a portion of the space on a site or in a building.
Family means a group of individuals, not necessarily related by blood or marriage, or adoption, or guardianship living together in a dwelling unit as a single housekeeping unit.
Family daycare home is defined by the Health and Safety Code § 1596.78 and means a facility that regularly provides care, protection, and supervision for 14 or fewer children, in the provider's own home, for periods of less than 24 hours per day, while the parents or guardians are away, and is either a large family daycare home or a small family day care home. Family daycare homes are licensed by the California Community Care Licensing Division.
(1)
Small family daycare home means a facility that provides care, protection, and supervision for eight or fewer children, including children under ten years of age who reside at the home, as set forth in Health and Safety Code § 1597.44 and as defined in state regulations.
(2)
Large family daycare home means a facility that provides care, protection, and supervision for seven to 14 children, inclusive, including children under ten years of age who reside at the home, as set forth in Health and Safety Code § 1597.465 and as defined in state regulations.
(3)
A small family daycare home or a large family daycare home includes a detached single-family dwelling, a townhouse, a dwelling unit within a covered multifamily dwelling in which the underlying zoning allows for residential uses. A daycare home is where the daycare provider resides and incudes a dwelling or dwelling unit that is rented, leased, or owned.
Floor area and gross usable floor area mean the entire floor area of a building. The floor area includes not only the ground floor area but also any additional stories or basement of the building. All horizontal dimensions shall be taken from the exterior faces of walls, including enclosed porches. Unless otherwise indicated in this chapter, floor area shall mean gross usable floor area.
Fraternity house and sorority house mean a building rented, occupied or owned by a general or local chapter of some regularly organized college fraternity or sorority or by, or on its behalf by, a building corporation or association composed of members or alumni thereof, and occupied by members of the local chapter or such fraternity or sorority as a place of residence.
Frontage means the front lot line of a site, separating the site from a street.
Game arcade means a public place of business consisting of six or more computers, electronic machines, or mechanical machines for the purpose of amusement or gaming. Gambling, betting, monetary awards, or any other form of payment are prohibited. For zoning purposes, the terms "internet cafe", "cyber lounge", and "gaming lab" have the same meaning as "game arcade."
Garage, private means an accessory building or an accessory portion of the main building, enclosed on all sides by walls or doors and designed or used primarily for the shelter or storage of vehicles owned or operated by the occupants of the main building.
Garage, public means any garage other than a private garage.
Gasoline station means any commercial establishment providing for the storing or dispensing of flammable liquids, combustible liquids, liquefied flammable gas or flammable gas.
General plan means the latest Council adopted Hemet General Plan.
Granny flat means either an attached or a detached accessory dwelling unit intended for the sole occupancy of one or two adult persons who are 62 years of age or older.
Guesthouse means living quarters, without kitchen facilities, located on the same lot as an existing dwelling unit for the use of persons employed on the premises, or for temporary use by guests of the occupants of the premises.
Home occupation means the conduct of an art or profession, the offering of a service, the conduct of a business or the handcraft manufacture of products in a dwelling unit in accord with the regulations prescribed in section 90-72.
Hospital means an institution for the diagnosis, care and treatment of human illness, including surgery and primary treatment.
Hotel means a building containing guestrooms or guest suites, with most rooms gaining access from a interior hallway, where lodging is provided, with or without meals, for compensation.
Internet cafe has the same meaning as "game arcade."
Junkyard means any lot or portion of any lot used for the dismantling of machinery or for the storage or keeping for sale of parts and equipment resulting from such dismantling or wrecking, or for the storage or keeping of junk, including scrap metals or other scrap materials.
Kennel means a place where four or more dogs four months of age or older are kept or a place where five or more cats four months or older are kept.
Kitchen means any room in a building or dwelling unit which is used for cooking or preparation of food.
Landscaping means the planting and continued maintenance of suitable live ornamental or beautification vegetation where an adequate irrigation system is provided, or a combination thereof with minimum areas of paving, gravel or otherwise dust-free materials.
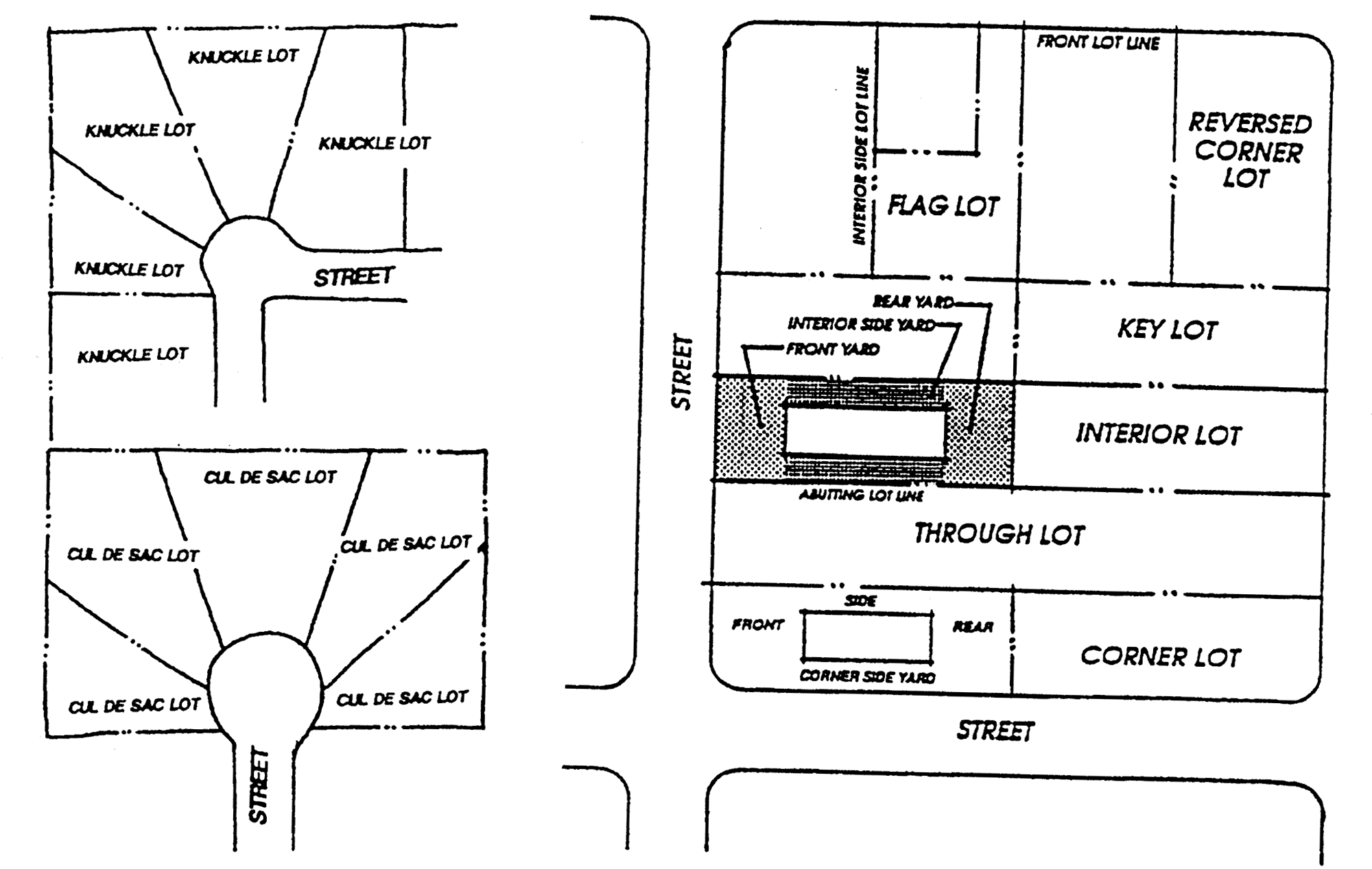
Lot means a parcel, tract or area of land established by plat, subdivision, or otherwise permitted by law, to be used, developed or built upon. The classification of lots are as indicated below and in the accompanying figure:
Corner means a lot situated at the intersection of two or more streets, which streets have an angle of intersection or not more than 135 degrees. If the angle is greater than 135 degrees, the lot shall be considered an "interior lot."
Cul-de-sac means a lot which abuts the bulb, or curved portion of a cul-de-sac.
Double-frontage or through means a lot having frontage on two parallel or approximately parallel streets with only one primary vehicular access.
Flag means a lot having access or an easement to a public or private street by a narrow, private right-of-way.
Interior means a lot abutting only one street.
Key means any lot where the side property line abuts the rear property line of one or more lots not separated by an alley or other public way.
Knuckle means a lot which abuts the curved portion of the intersection of two streets.
Reversed corner means a corner lot, the rear of which abuts the side of another lot.
Lots
Lot depth means the horizontal distance between the front and rear lot lines, measured in the main direction of the side lot lines.
Lot line means any boundary of a lot. For unusually shaped lots, the director may determine which lot lines are the front, sides, and rear. The classifications of lot lines are:
Front means the property line abutting the street. For double frontage or through lots, the front lot line shall be the lot line abutting the street providing the primary vehicular access to the lot.
Interior means any lot line which does not separate a lot from a street.
Rear means a lot line, not a front lot line, which is parallel or approximately parallel to the front lot line. Where no lot line is parallel or approximately parallel to the front lot line, a line ten-feet in length within the lot, parallel to and at the maximum possible distance from the front lot line, shall be deemed the rear lot line for the purpose of determining required yards, setbacks and other provisions of this chapter.
Side means any lot line which is not a front lot line or a rear lot line.
Lot width means the horizontal distance between the side lot lines, measured at right angles to the lot depth at the front setback as indicated in the figures below.
Lot Lines
Machine shop means a workshop where various materials, especially metals, are cut, shaped and worked, often to tight specifications using machine tools. Machine shops are used in the creation of new items as well as repairs to existing equipment and parts.
Manufactured house means a prefabricated house installed on a permanent foundation and in accordance with the provisions of the zone in which it is located.
Massage business means any business where any person engages in, conducts, carries on or permits to be engaged in, conducted or carried on for consideration massages, baths or health treatments involving massages or baths. For the purposes of this definition, "massage" shall have the same definition as provided in section 18-212 of this Code. The business requires a massage business license pursuant to Code section 18-213, and must comply with all applicable requirements of chapter 18, article VII of this Code. For purposes of this chapter 90, massage business may be classified as one of the following.
(1)
Incidental massage business: massage services offered by barbershops, beauty shops, day spas, and nail salons where the massage services are incidental or accessory to the primary services provided and within the scope of any barber's, beautician's or manicurist's California license.
(2)
Medical massage business: physical therapy or massage provided as a prescribed treatment for a physical ailment or medical condition on patients of the medical facility by a professional who is license by the state to provide massages.
Mobile home means a structure transportable in one or more sections, designed and equipped to contain not more than one dwelling unit, to be used with or without a foundation system. The term "mobile home" shall also include state-approved factory-built housing. The term "mobile home" does not include a recreational vehicle or commercial coach.
Mobile home access drive means a private thoroughfare which affords internal circulation for a mobile home park.
Mobile home park means a parcel or site intended for residential use exclusively in mobile homes, together with recreation and accessory facilities serving the residents thereof.
Mobile home space means a plat of ground within a mobile home park designed for the accommodation of one mobile home, abutting one or more mobile home access drives.
Model home marketing complex means a sales complex consisting of not more than ten models, a sales office and landscaping designed and used only for the marketing of dwellings or lots.
Motel means guest rooms or suites occupied on a transient basis, with most rooms gaining access from an exterior walkway, including auto courts, motor lodges and tourist courts.
Nonconformity means a use, building, structure, screening, performance or sign which was lawful when established, but which does not conform to subsequently established zones or zoning regulations.
Outdoor patio, where required by zoning, means an area outside of the main dwelling and open on at least two sides, as specified in this subsection, for the enjoyment of open air uses by the resident family and their guests. An outdoor patio may have a roof or cover. An outdoor patio may be surrounded by walls provided that a minimum of 80 percent of the total wall area of the largest wall and the next largest wall, below a minimum of six-feet eight-inches of each wall, measured from the floor, remains open. The open wall area may be screened with insect screening which lets light and air pass freely. Solid plastic sheeting, glassine, glass, Plexiglas and similar materials are expressly prohibited.
Parking area means an open area, other than a street, alley or public place, used for parking motor vehicles, including individual parking spaces, required turning and backup areas, complementary landscaping and access ways to and from a public street, whether available free or for compensation.
Parking garage means a structure or building designed and maintained exclusively for the temporary parking or storage of motor vehicles, and available for public use, whether free or for compensation.
Parking space means an accessible space within a building, parking area or parking garage for the temporary parking or storage of one motor vehicle, exclusive of streets, alleys, driveways, aisles and the area of egress or ingress, and having access at all times to a public street or alley.
Pawn shop means a business that offers loans in exchange for (used) personal property as equivalent collateral with an agreed upon time frame for repayment. If a loan is not repaid on time, the collateral can then be liquidated by the pawn shop to recoup any losses.
Principal dwelling unit means a dwelling unit that serves as the principal structure of the lot on which it is located.
Principal structure means a structure or group of structures that facilitates the primary use of the lot on which it is located.
Private open space means that space immediately adjacent to the individual apartment unit and for the use of the inhabitant of the adjacent apartment. Ground floor units may use interior side yards and rear yards to satisfy the private open space needs.
Professional and technical school means a facility providing instruction, training and practical experience not involving heavy equipment, structures or vehicles, in a professional or technical business. This includes but is not limited to business, banking, computers, health services, photography, management, public relations, real estate, stocks and bonds, engineering, surveying and similar uses.
Recreation building means a building designed to be utilized primarily for games, the pursuit of hobbies, social gatherings and similar activities.
Recreation center including, but not limited to a private recreation center, health club, karate studio, tae kwon do studio, spa, racquetball club, tennis club, fitness center, nutritional center, figure salon and establishments having similar titles. Recreation center shall also mean a facility providing physical instruction, training, therapy, exercise or rehabilitation, including but not limited to any or all of the following: swimming, Jacuzzi, self-defense, dance, weight control, floor exercise, body control, weight lifting, machine exercise, isometrics, or indoor or outdoor court games.
Recycling center means a site for the collection, storage, processing, grinding and refining of reusable natural resources, including but not limited to aluminum and other metals, glass, paper, fiber or plastics.
Recycling facility means a site for the collection, storage, processing, grinding and refining of reusable natural resources, including but not limited to aluminum and other metals, glass, paper, fiber or plastics. This land use type includes a variety of facilities involved with the collection of recyclable materials, including:
(1)
Recycling, donation box. A bin, storage shed, or similar facility established as an accessory use to a primary use for the purpose of providing a collection location for donated clothes, shoes, and small household items. Such facilities generally are established by a charitable or non-profit organization.
(2)
Recycling, reverse vending machine. An automated mechanical device which accepts at least one or more types of empty beverage containers and issues a cash refund or a redeemable credit slip with a value not less than the container's redemption value, as determined by state law. These vending machines may accept aluminum cans, glass and plastic bottles, and other containers. The vending machines typically occupy an area of less than 50 square feet.
(3)
Recycling, collection facility. A facility where the public may donate, redeem, or sell recyclable materials and may include:
a.
A mobile unit;
b.
Reverse vending machines or a grouping of reverse vending machines occupying more than 50 square feet; and
c.
Kiosk-type units that may include permanent structures.
(4)
Recycling, processing facility. A structure or enclosed space used for the collection and processing of recyclable materials for shipment, or to an end-user's specifications, by such means as baling, briquetting, cleaning, compacting, crushing, flattening, grinding, mechanical sorting, remanufacturing and shredding.
Resale store means a for-profit business primarily engaged in the purchasing and selling of new and used items. Merchandise in resale stores is not obtained through donations and is subject to the same regulations as a general retail store. Resale store includes antique, consignment, secondhand, and vintage stores.
Residence means a building used, designed or intended to be used as a home or dwelling place for one or more families.
Resource collection means an establishment on a site of less than 0.50 acre in size for the collection and storage of aluminum, glass, paper and reusable household goods.
Restaurant means any commercial establishment preparing and serving food.
Roominghouse means the same as the term "boarding house" and is subject to the provisions of article X, division 1 (boarding houses and group homes) in this chapter.
Scrap and dismantling yard means outdoor establishments primarily engaged in assembling, breaking up, sorting, and the temporary storage and distribution of recyclable or reusable scrap and waste materials, including auto wreckers engaged in dismantling vehicles for scrap, and the incidental wholesale or retail sales of parts from those vehicles.
Screening means a six-foot high continuous fence, wall, hedge or combination thereof, supplemented with landscape planting, broken only for access drives and walks, that effectively blocks from public view the property which it encloses.
Secondary dwelling unit has the same meaning as accessory dwelling unit. An accessory dwelling unit also includes the following:
(1)
An efficiency unit, as defined in Section 17958.1 of the California Health and Safety Code; and
(2)
A manufactured home, as defined in Section 18007 of the California Health and Safety Code.
Senior housing means an independent living facility, complex, mobile home park or subdivision that serves persons 55 years or older as provided in article XXXI of this chapter.
Service station means the same as the term "gasoline station."
Setback means the required distance that a building, accessory structure, structure, or parking shall be located from a lot line.
Shopping center means a group of retail shops, restaurants, and other commercial establishments, which is planned, developed, owned, or managed as a unit. Shopping centers are categorized by size and use:
(1)
Regional mall or center: department stores, apparel stores, restaurants, and general merchandise. Typically, with two+ anchors and over 400,000 square feet, enclosed or with inward facing stores, and parking on the outside perimeter or in a parking garage.
(2)
Shopping center: large specialty, restaurants, home improvement, sporting goods, drug, supermarket, and discount. Typically, with two+ anchors and greater than 100,000 square feet, and configured in a straight line, L, or U shaped design.
(3)
Neighborhood center: supermarket, restaurants, and convenience-oriented offerings. Typically, with one+ anchors, 30,000—100,000 square feet, and configured in a straight line, L, or U shaped design.
(4)
Convenience or strip center: mini-mart and convenience-oriented offerings. Typically, with no anchor, less than 30,000 square feet, and parking located directly in front of the stores.
Shooting range, indoor means an indoor facility for amusement and recreation equipped with targets for practice with firearms including the sale of new and used firearms, ammunition and closely related items.
Site or lot area means the total horizontal area included within the boundary lines of a site or lot, exclusive of the area of access corridors, streets or portions of the site or lot within planned street lines.
Skilled nursing facility means a facility that offers 24-hour medical care provided by nurses and physicians. Skilled nursing facilities may care for frail residents totally dependent on nursing care. The term "skilled nursing facility" shall include convalescent hospital, nursing home, and hospice facility.
Small licensed residential care facility is defined as provided in section 90-262 of this chapter.
Storage facility (personal, mini-storage) means a structure or group of structures where individual storage spaces are leased to individuals, organizations, or businesses for self-service storage of personal property, goods, and wares.
Story means the space in a building between the surface of a floor and the surface of the floor next above, or, if there is no floor above, then the space between such floor and the ceiling next above.
Street means a public thoroughfare, dedicated or deeded and accepted, other than an alley, which affords the principal means of access to abutting property.
Structure means that which is built or constructed, an edifice or building of any kind, or any piece of work artificially built up or composed of parts joined together in some definite manner, and which requires location on the ground or attachment to something having a location on the ground, including satellite dishes, and radio or television masts, but not including fences or walls used as fences 42 inches or less in height; except as otherwise permitted, a non-building structure must meet all yard setbacks of the zone in which it is located.
Swap meet means any indoor or outdoor establishment that allows for individual sales booths or businesses to display new or used goods for sale, excluding farmers markets.
Thrift store means a non-profit establishment primarily engaged in the sale of predominantly used items, such as, clothing, household goods, furniture or appliances and includes a collection center or donation drop-off. Goods are often obtained through donations or gifts where the donor receives no value upon the sale (or gift) of such merchandise.
Trade school means a facility providing instruction, training and practical experience in an occupation, craft or business. This training may include the use of heavy equipment, machinery, vehicles or structures. This includes but is not limited to automotive, truck or diesel service and repair, aircraft service and repair, appliance service and repair, contractor services, manufacturing, printing and truck driving.
Travel trailer means a vehicle other than a motor vehicle which is designed for use for human habitation and which may be moved upon a public highway, without a special permit or chauffeurs license or both, without violating any provisions of the Vehicle Code.
Travel trailer subdivision means any area or tract of land where individual lots used for the occupancy of one travel trailer or recreational vehicle are created.
Triplex means a building designed for occupancy by three families living independently of one another, and containing three dwelling units under one common roof.
Ultimate right-of-way means the General Plan Circulation Element planned street width. For streets not defined in the General Plan Circulation Element it shall be the planned width as determined by the city engineer.
Urgent care clinic means a medical facility that treats injuries or illnesses requiring immediate care, but not serious enough to require a visit to the hospital emergency room. Urgent care clinics may be open extended hours and weekends.
Use means the purpose for which a site or structure is arranged, designed, intended, constructed, erected, moved, altered or enlarged, or for which either a site or a structure is or may be occupied or maintained.
Vehicle means a device by which any person or property may be propelled, moved or drawn upon a highway, excepting a device moved exclusively by human power or used exclusively upon stationary rails or tracks.
Wall means a freestanding structure of metal, masonry, composition, or wood, or any combination thereof, resting on or partially buried in the ground and rising above ground level, and used for confinement, privacy, protection, screening or partition purposes.
Yard means an open space on a lot or parcel, unoccupied and unobstructed by structures from the ground upward except as otherwise provided in this chapter, including the front yard, side yard and rear yard, or space between structures.
Yard, front means a yard extending across the full width of a site, the depth of which is the minimum horizontal distance between the front lot line or ultimate street right-of-way and a line parallel thereto on the site.
Yard, rear means a yard extending across the full width of a site, the depth of which is the minimum horizontal distance between the rear lot line and a line parallel thereto on the site.
Yard, side means a space extending from the front yard to the rear yard between a side lot line and the side yard setback line.
Yard, street side means a space extending from the front yard to the rear yard from the side street lot line and the side yard setback line.
Zoning map means, the official zoning map of the City of Hemet.
(Ord. No. 621; Ord. No. 856; Ord. No. 864; Ord. No. 872; Ord. No. 885; Ord. No. 887; Ord. No. 892; Ord. No. 901; Ord. No. 924; Ord. No. 954; Ord. No. 962; Ord. No. 965; Ord. No. 969; Ord. No. 1003; Ord. No. 1017; Ord. No. 1039; Ord. No. 1044; Ord. No. 1132; Ord. No. 1140; Ord. No. 1141; Ord. No. 1144; Ord. No. 1147; Ord. No. 1152; Ord. No. 1300; Ord. No. 1307; Ord. No. 1310; Ord. No. 1341; Ord. No. 1409; Code 1984, § 20100; Ord. No. 1477, § 1(20100), 9-28-93; Ord. No. 1493, Exh. B, 5-10-94; Ord. No. 1536, § 1, 2-13-96; Ord. No. 1587, § 3, 8-11-98; Ord. No. 1675, 10-8-02; Ord. No. 1684, §§ 1—5, 5-27-03; Ord. No. 1693, § 1, 9-23-03; Ord. No. 1696, § 1, 11-4-03; Ord. No. 1787, § 4(Exh. C), 9-25-07; Ord. No. 1798, § 2(a), 5-27-08; Ord. No. 1875, § 1(Exh. 1B), 1-14-14; Ord. No. 1892, § 1(Exh. A1), 12-9-14; Ord. No. 1929, § 3(Exh. A-3), 6-13-17; Ord. No. 1940, § 2(Exh. B), 12-12-17; Ord. No. 1943, § 1(Exh. A), 2-27-18; Ord. No. 1949, § 1(Exh. A, 1), 9-25-18; Ord. No. 1965(2020-004), § 1, 2-25-20; Ord. No. 1972, § 2, 2-9-21)
Cross reference— Definitions and rules of construction generally, § 1-2.
Editor's note— Section 5 of Ord. No. 1787, adopted Sept. 25, 2007, repealed § 90-4.1, which pertained to adult oriented business and entertainment establishments, and derived from Ord. No. 1530, adopted Oct. 14, 1995; and Ord. No. 1650, adopted Sept. 25, 2001. Similar provisions can be found in §§ 18-351 et seq., 18-401 et seq., and 90-18.
In order to classify, regulate, restrict and separate the use of land and structures, to regulate and to limit the height and bulk of structures, to regulate the areas of yards and other open spaces about structures, and to regulate the density of population, the following zones are established, to be known as:
(Ord. No. 621; Code 1984, § 20004; Ord. No. 1949, § 2(Exh. A, 2), 9-25-18)
(a)
The locations and the boundaries of the various zones established by this chapter are shown, delineated, and designated on the official zoning map of the city, and such map, with all notations, references, dates and other information shown thereon shall be made a part of this chapter.
(b)
The original of the zoning map, together with all subsequent amendments, additions or deletions thereto, shall be kept on file with the city clerk and shall constitute the original record.
(Ord. No. 621; Code 1984, § 20005)
Editor's note— Ord. No. 1917, § 1, adopted July 12, 2016, repealed § 90-6.5, which pertained to land use in certain zones and derived from Ord. No. 1530, adopted October 25, 1995; Ord. No. 1642, § 2, adopted April 10, 2001; Ord. No. 1657, § 1, adopted February 12, 2002; Ord. No. 1693, § 1, adopted September 23, 2003; and Ord. No. 1696, § 1, adopted November 4, 2003.
Where uncertainty exists as to the boundary of any zone as shown on the zoning map, the following rules shall apply:
(1)
A boundary indicated as approximately following a street or alley shall be construed as following the centerline thereof.
(2)
A boundary indicated as approximately following a lot line or a property ownership line shall be construed as following such lot line or property ownership line.
(3)
A boundary indicated as following a railroad line shall be construed to be midway between the main tracks.
(4)
A boundary line which is not dimensioned, and not indicated as provided in subsections (1) through (3) of this section, shall be determined by the use of the scale shown on the zoning map.
(5)
Where further uncertainty exists, the commission shall, by written decision, determine the location of the boundary in question.
(Ord. No. 621; Code 1984, § 20006)
Any property annexed to or consolidated with the city subsequent to the effective date of the ordinance codified in this chapter shall become classified as of the effective date of annexation or consolidation, to the city zoning classification which most closely approximates the uses and development standards permitted under the county or adjacent city zoning prior to annexation, except as prezoned pursuant to section 90-9.
(Ord. No. 870; Code 1984, § 20007; Ord. No. 1602, § 1, 5-25-99)
Prezoning of unincorporated territory adjoining the city may be initiated by the commission in order to determine the zoning to be established in the event of subsequent annexation to the city. Such zoning shall become effective on the effective date of the annexation.
(Ord. No. 621; Code 1984, § 20008)
(a)
Generally. On-site and off-site improvements may be required by the approving authority on an application for site plan review, minor site plan review, conditional use permit, minor use permit, variance, and minor variance on the basis of the following:
(1)
For any new construction on vacant property;
(2)
For additions to residential structures exceeding 40 percent of the habitable square footage of existing residential structures in any 36-month period;
(3)
For additions to non-residential structures exceeding 33 percent of the square footage of existing non-residential structures in any 48 month period;
(4)
For building relocations;
(5)
For parking lot improvements on residentially zoned land exceeding 40 percent of the required parking lot;
(6)
For parking lot improvements on non-residentially zoned land exceeding 33 percent of the required parking lot.
Improvements shall be made in accordance with the latest adopted City of Hemet Standard Specifications for Public Works Construction and the Hemet Municipal Code. Whenever the improvements or the performance of any work has been promised or required in connection with an action prescribed by this chapter, the applicant shall make the improvements prior to the issuance of a building permit or shall execute an agreement and provide security for performance as prescribed in this section. Improvements, in the opinion of the approving authority, which involve public safety may be required to be made prior to the issuance of a building and/or prior to occupancy.
(b)
Form of agreement and security. The agreement shall be signed by the applicant, and shall prescribe the improvements to be made with reasonable certainty, together with the estimated cost and time period allowed for completion of the work. Performance of the agreement shall be secured by a faithful performance bond or form of security approved by the city attorney, in the amount of 100 percent of the estimated cost of the work. The security may consist of but shall not be limited to the following:
(1)
A faithful performance bond, in a form and with a corporate surety approved by the city attorney.
(2)
A letter of credit issued by a bank, in a form approved by the city attorney.
(3)
The deposit with the city of cash or negotiable bonds approved by the city attorney.
(4)
The certificate of the holder of an escrow account that money is on deposit in escrow to secure payment of the cost of the work, in a form approved by the city attorney.
(Ord. No. 1562, § 2, 7-29-97)
Except as provided by this chapter, no structure or improvement shall encroach upon the ultimate right-of-way of a street shown on the latest adopted General Plan Circulation Element Map. All yards required by the zoning regulations shall be measured from the ultimate right-of-way.
(Ord. No. 1588, § 3, 8-25-98)
Editor's note— Ordinance No. 1552, § 2, adopted January 28, 1997, deleted §§ 90-10—90-16 in their entirety. Formerly, such sections pertained to lot area and lot dimensions; measurement of yards; projections into yards; height; accessory buildings; access; walls, fencing, screening and landscaping and derived from §§ 20009—20015 of the 1984 Code; Ord. No. 621; Ord. No. 1088; Ord. No. 1093; Ord. No. 1249; Ord. No. 1410; Ord. No. 1493, Exh. A, 5-10-94; Ord. No. 1527, § 1, 9-12-95.
The provisions of this chapter shall have no application to communication lines, transmission lines or distribution lines used directly or indirectly for service to the public or a portion thereof by persons subject to the jurisdiction of and regulation by the public utilities commission of the state; provided that such communication lines, transmission lines or distribution lines shall be installed or constructed with the exercise of all reasonable and practical effort to make such installation or construction harmonious and compatible with the surrounding area and the environment immediately adjacent thereto.
(Code 1984, § 20016)
Cross reference— Utilities, ch. 82.
The purpose of this section is to establish reasonable standards to regulate the location of adult businesses in order to minimize the negative secondary effects associated with the establishment, operation, and concentration of such facilities and thereby protect the public health, safety, and welfare; preserve locally recognized values of community appearance; minimize the potential for nuisances related to the operation of adult entertainment businesses, and maintain local property values.
(a)
Locational standards.
(1)
Zoning districts where adult businesses may be located. Subject to the limitations of this section and article X of chapter 18, adult businesses may be located within the following zoning districts of the city:
a.
C-1 Neighborhood Commercial Zone.
b.
C-2 General Commercial Zone.
c.
C-M Heavy Commercial-Limited Industrial Zone.
d.
M-1 Limited Industrial Zone.
e.
M-2 General Industrial Zone.
(2)
Separation from sensitive uses. In the zoning districts where an adult business would otherwise be a permitted use, an adult business may not be located within 1,000 feet from any of the following uses within the city:
a.
Any city zone or land use district, including those within planned communities and specific plans, which contain the words residence, residential, rural living, or rural residential within its title and the following zoning designations within chapter 90 of the Hemet Municipal Code: Article XI (single-family residential), Article XIII (multiple-family), Article XVI (small lot residential), Article XX (mobile home parks), Article XXII (planned unit mobile home development district), Article XXIV (travel trailer planned development zone).
b.
Any city zone or land use district, including those within planned communities and specific plans, which contain the words agriculture or agricultural within its title that is also designated for residential use by the General Plan land use map.
c.
Church, chapel, temple, religious institution, or similar place of worship.
d.
Community center.
e.
Day care facility.
f.
Home for the aged, nursing home, rest home, residential care facility, or homeless shelter.
g.
Hospital, convalescent hospital, medical facility, or mental health facility
h.
Library.
i.
Museum.
j.
Public park, playground, or other recreation center or facility.
k.
Schools and school district offices.
l.
Senior citizen activity center.
m.
Any residential use.
n.
Hotel, motel or bed and breakfast.
o.
Mobile home park, travel trailer park or recreational vehicle park.
p.
Arcade.
q.
Movie theatre.
(3)
Separation between adult business uses. An adult business may not be established or located within 1,000 feet of any other existing adult business.
(4)
Measurement of distance. For the purposes of this section, all distances will be measured in a straight line, without regard to intervening structures, from the nearest point of the building or structure in which the adult entertainment business is or will be located to the nearest property line of any land use, land use district, or zone, or to the nearest point of the building or structure or part thereof if less than the entire structure is occupied by, or proposed to be occupied by, an adult business in which an existing adult business is located.
(Ord. No. 1530, 10-25-95; Ord. No. 1537, 3-13-96; Ord. No. 1650, § 1, 9-25-01; Ord. No. 1787, § 6(Exh. D), 9-25-07)
- IN GENERAL
The purpose of this chapter is to serve the public health, safety and general welfare; to promote harmonious, convenient and workable relationships among land uses; to facilitate an efficient and safe traffic circulation system; to secure safety from fire and other dangers; to protect and enhance property values and the economic base of the city; to ensure the adequate provision of schools, parks, transportation, utilities and other public requirements; to avoid undue overcrowding of land or excessive population densities; to provide adequate open spaces for light and air; to enhance the appearance of the city; and to increase the social advantages resulting from orderly use of the land.
(Ord. No. 621; Code 1984, § 20001; Ord. No. 1562, § 2, 7-29-97)
(a)
[Generally.] All departments, officials or public employees vested with the authority to issue permits, certificates, or licenses, where required by law, shall conform to the provisions of this chapter. No license, certificate, or permit for uses, structures or purposes where the use, structure or purpose would be in conflict with the provisions of this chapter shall be issued, and if issued, shall be void.
(b)
Powers and duties of city officials; right of entry. The city council shall designate the department or division head, or other city official who shall be responsible for enforcement of this chapter, notwithstanding any provisions provided for by state statute. This designated person shall assign personnel under his or her supervision as may be necessary to enforce this chapter. The personnel shall have the right and authority to enter on or to any site or structure, provided that the right of entry shall be exercised at reasonable hours. In no circumstances shall any structure be entered in the absence of the owner, tenant or other lawful occupant or agent unless express consent of the owner, tenant or lawful occupant or agent is obtained prior to entry or when entry is authorized pursuant to a written court order of competent jurisdiction. The personnel may serve notice requiring the removal of any structure or use in violation of this chapter on the power of the authorized agent, on a tenant or an architect, builder, contractor or other person who commits or participates in any violation. This personnel may call upon the city attorney or the city attorney's designee to institute necessary legal proceedings to enforce the provisions of this chapter. The city attorney or the city attorney's designee is authorized to institute appropriate actions to that end.
(c)
Issuance of citations. Officers and employees of the city who have the discretionary duty to enforce a statute or ordinance may, pursuant to Penal Code § 836.5 and subject to the provisions thereof, arrest a person without a warrant whenever any officer or employee has reasonable cause to believe that the person to be arrested has committed a misdemeanor in the officer's or employee's presence or violated an ordinance which officer or employee has the discretionary duty to enforce, and to issue a notice to appear and to release such person on his written promise to appear in court, pursuant to Penal Code § 853.6.
(d)
Officers. Officers or employees shall not be allowed by their superior to exercise the arrest and citation authority conferred in this section unless the officer or employee is within a classification of city officers and employees designated by resolution of the city council to exercise such arrest and citation authority as to a specified misdemeanor or infraction.
(e)
Training and instruction of officers. The city shall establish and cause to be administered a special enforcement training program designed to instruct each officer or employee who will exercise such arrest and citation authority, regarding the provisions of the statutes and ordinances to be enforced, the evidentiary prerequisites to proper prosecution for violations thereof, the appropriate procedures for making arrests or otherwise prudently exercising such arrest and citation authority, and the legal and practical ramifications and limitations attendant thereto. Any officers or employees shall be appropriately instructed to deposit executed citations or notices within the office of the chief of police or the chief's designee for filing with the court, after review for legal sufficiency.
(f)
Penalties persons. Except as otherwise provided, any person violating any provision of this chapter shall be guilty of a misdemeanor, and upon conviction thereof shall be punishable by a fine of not more than $500.00 and by imprisonment for a term not exceeding six months, or by both a fine and imprisonment. A person shall be deemed guilty of a separate offense for each day during any portion of which a violation of this chapter is committed, continued or permitted by the person, and shall be punishable as provided in this section.
(g)
Penalties structures. Any structure erected, moved, altered, enlarged or maintained and any use of a site contrary to the provisions of this chapter is declared to be unlawful and a public nuisance, and the city attorney may institute necessary legal proceedings for the abatement, removal and enjoinment thereof in the manner provided by law, or may take such other steps as he deems necessary to accomplish these ends.
(h)
Penalties remedies. All remedies provided for in this section shall be cumulative and not exclusive. The conviction and punishment of any person under this section shall not relieve such person from the responsibility of correcting prohibited conditions or removing prohibited buildings, structures or improvements, or prevent the enforced correction or removal thereof.
(Ord. No. 621; Code 1984, § 20002; Ord. No. 1562, § 2, 7-29-97)
(a)
Precedence. No provision of this chapter is intended to abrogate or interfere with any deed restriction, covenant, easement or other agreement between parties; however, where this chapter imposes a greater restriction on the use of land or structures or on the height or bulk of structures, or requires greater open spaces or greater areas and dimensions of sites than are required by an existing ordinance or by an agreement between parties, this chapter shall control.
(b)
Minimum requirements. The provisions of this chapter shall be held to be minimum requirements in their application and interpretation. Whenever there is any question regarding the interpretation of the provisions of this chapter, the commission shall interpret the intent by resolution of record.
(c)
Determination of use not listed. When a use is not specifically listed as a permitted use or conditionally permitted use under a particular zone, the director, upon written request or upon the director's own initiative, shall determine whether the use is sufficiently similar to a listed use in one or more zones. The director's determination shall be based upon the following findings:
(1)
The proposed use would meet the objectives of the zone;
(2)
The proposed use and its operation are compatible with the uses permitted in the zone; and
(3)
The proposed use is similar to one or more uses in the zone.
The director shall notify the planning commission and city council of determination of use. Once the determination has been made the director shall initiate an amendment to the zoning ordinance.
(Ord. No. 621; Code 1984, § 20003; Ord. No. 1562, § 2, 7-29-97)
The following words, terms and phrases, when used in this chapter, shall have the meanings ascribed to them in this section, except where the context clearly indicates a different meaning. Words, terms and phrases which are not defined herein shall be as defined in a dictionary of common use, such as Webster's.
Access and accessway mean the place, means or way by which pedestrians and vehicles shall have safe, adequate and usable ingress and egress to a property or use as required by this chapter.
Accessory means a building, part of a building or structure, the use of which is subordinate to, and the use of which is incidental to, that of the main building, structure or use on the same lot. Where a substantial part of the wall of any accessory building is a part of the main building, or where an accessory building is attached to the main building in a substantial manner by a roof, such accessory building shall be deemed a part of the main building.
Accessory dwelling unit means an attached or detached dwelling unit, which provides complete independent living facilities for one or more persons. It shall include permanent provisions for living, sleeping, eating, cooking, and sanitation on the same parcel as the principal single-family home, and shall have independent exterior access.
Accessory structure means a detached structure subordinate to and located on the same lot as the principal structure.
Accessory use means a use of a building or site or a portion of a building or site which is customarily incidental or subordinate to the principal use conducted on or occupying a site.
Adult business has the meaning set forth in section 18-352.
Alley means a passage or way open to public travel which affords generally a secondary means of vehicular access to abutting lots and is not intended for general traffic circulation.
Animal hospital means a place where animals or pets are given medical or surgical treatment and are cared for during the time of such treatment. Use as a kennel shall be limited to short-time boarding, and shall be only incidental to such hospital use.
Apartment means a room or suite of two or more rooms with a single kitchen in a multiple dwelling, occupied or suitable for occupancy as a residence for one family.
Apartment, senior means an apartment specifically designed for independent living for retired individuals or couples, over the age of 55, where no meal service is provided.
Arcade means a business establishment providing as its principal use coin- or token-operated entertainment games. Establishments which have more than five coin- or token-operated entertainment games shall be considered an arcade.
Assisted living facility means a facility for more than six individuals offering assistance with basic activities of daily living such as bathing, grooming, and dressing. Assisted living facilities may offer medication assistance and/or reminders, but differ from a skilled nursing facility in that they do not offer complex medical services. The term "assisted living facility" shall include long-term care facility, rest home, memory support facility, or residential care facility for the elderly.
Bed and breakfast means a transient lodging establishment, generally in a single-family dwelling and/or detached guesthouses, primarily engaged in providing overnight or otherwise temporary lodging for the general public and may provide meals, for compensation.
Boarding house and lodging house shall mean a residence or dwelling, other than a hotel, wherein a room or rooms, with or without individual or group cooking facilities, are rented, leased or subleased under two or more separate written or oral rental agreements, leases or subleases, whether or not the owner, agent or rental manager resides within the dwelling unit. A boarding house or lodging house is subject to the provisions of article X, division 1 (boarding houses and group homes) in this chapter.
Bottled water distributors means establishments primarily engaged in the bottling and distribution of natural spring and mineral water.
Building means any structure having a roof supported by columns or walls, designed or used for the housing or enclosure of persons, animals, chattels or property of any kind, and shall include but not be limited to garages, carports, patio covers and gazebos.
Building height means the vertical distance measured from the average level of the highest and lowest point of that portion of the building site covered by the building to highest point of the structure, excluding chimneys and vents.
Building official means the Hemet Building Official.
Bulk food outlet means a wholesale or retail business primarily selling food and related products in bulk. The term "bulk," as used in this subsection, shall include but is not limited to products sold in large size containers, case lots or other larger undivided quantities. The term "bulk food outlet" shall not include a conventional neighborhood food market which primarily sells a wide range of individual, normal sized food products and household goods.
Carport means a permanent, roofed accessory building entirely open on two or more sides and used or intended to be used primarily for the shelter or storage of vehicles owned or operated by occupants of the main building.
City means the City of Hemet.
City clerk means the Hemet City Clerk.
City council means the Hemet City Council.
Club means an association of persons, whether incorporated or not, for a common purpose, but shall not include groups organized solely or primarily to render a service carried on as a business for profit.
Commercial coach means a factory-built structure, designed and equipped for human occupancy for industrial, professional or commercial purposes, transportable in one or more sections to a site and installed, which is required to be moved under permit.
Commission means the Hemet Planning Commission.
Common open space means that space upon a lot or parcel to which it is appurtenant, which can be used by and is accessible to all the inhabitants of the property for outside living, activity or recreation. It shall not include driveways, parking areas, utility space such as trash, transformer or laundry areas, or the area occupied by the required front yard.
Congregate care facility means the same as "assisted living facility."
Continuing care retirement community means a facility regulated by the State of California that provides a combination of independent living, assisted living, and skilled nursing services for senior citizens at one location for the duration of a resident's life generally under the terms of a lifetime contract.
Convalescent hospital or nursing home means the same as "skilled nursing facility."
Convenience store means a store that is open extended hours, generally less than 2,500 square feet in size, and stocks a limited selection of household goods, toiletries, groceries, snack foods, and prepared foods. A convenience store may be part of a gas station and/or licensed to sell tobacco products and alcohol.
County means Riverside County.
Council means the Hemet City Council.
Court means an open, unoccupied space other than a yard, on the same lot with a building or structure and bounded on two or more sides by such building or structure.
Coverage means the percentage of total site area covered by structures, open or enclosed, excluding the following uncovered structures: steps, courts, patios, terraces and swimming pools.
Cyber lounge has the same meaning as "game arcade."
Day spa means a business that provides a variety of services for the purpose of improving health and beauty through personal care treatments such as hair, nails, massage, facials, and waxing. A day spa is different from a beauty salon in that it generally contains facilities such as a sauna, pool, steam room, or whirlpool that guests may use in addition to their treatment.
Director means the Hemet Director of Community Development, or in the absence of such a position, the Hemet Director of Planning.
Dormitory means a room designed for or occupied as sleeping quarters by more than two persons. Each 100 square feet of floor area in a dormitory shall be deemed a guestroom.
Drive-in restaurant means any commercial establishment preparing and serving food where patrons may order and receive food in a motor vehicle.
Duplex means a building designed for occupancy by two families living independently of one another, and containing two dwelling units under one common roof.
Dwelling unit means one or more rooms, including bathroom(s) and a kitchen, designed, occupied or intended for use as a separate living quarter for one family, but shall not include motels, hotels, boardinghouses, bed and breakfasts, and lodging houses.
Dwelling, single-family residential means a structure containing one dwelling unit on an individual lot. The term "single-family residential dwelling" shall also mean a mobile home manufactured and certified under the National Mobile Home Construction and Safety Standards Act of 1974, on a permanent foundation approved by the city building official.
Establishment means a business or professional firm, organization or entity that is the sole occupant of all or a portion of the space on a site or in a building.
Family means a group of individuals, not necessarily related by blood or marriage, or adoption, or guardianship living together in a dwelling unit as a single housekeeping unit.
Family daycare home is defined by the Health and Safety Code § 1596.78 and means a facility that regularly provides care, protection, and supervision for 14 or fewer children, in the provider's own home, for periods of less than 24 hours per day, while the parents or guardians are away, and is either a large family daycare home or a small family day care home. Family daycare homes are licensed by the California Community Care Licensing Division.
(1)
Small family daycare home means a facility that provides care, protection, and supervision for eight or fewer children, including children under ten years of age who reside at the home, as set forth in Health and Safety Code § 1597.44 and as defined in state regulations.
(2)
Large family daycare home means a facility that provides care, protection, and supervision for seven to 14 children, inclusive, including children under ten years of age who reside at the home, as set forth in Health and Safety Code § 1597.465 and as defined in state regulations.
(3)
A small family daycare home or a large family daycare home includes a detached single-family dwelling, a townhouse, a dwelling unit within a covered multifamily dwelling in which the underlying zoning allows for residential uses. A daycare home is where the daycare provider resides and incudes a dwelling or dwelling unit that is rented, leased, or owned.
Floor area and gross usable floor area mean the entire floor area of a building. The floor area includes not only the ground floor area but also any additional stories or basement of the building. All horizontal dimensions shall be taken from the exterior faces of walls, including enclosed porches. Unless otherwise indicated in this chapter, floor area shall mean gross usable floor area.
Fraternity house and sorority house mean a building rented, occupied or owned by a general or local chapter of some regularly organized college fraternity or sorority or by, or on its behalf by, a building corporation or association composed of members or alumni thereof, and occupied by members of the local chapter or such fraternity or sorority as a place of residence.
Frontage means the front lot line of a site, separating the site from a street.
Game arcade means a public place of business consisting of six or more computers, electronic machines, or mechanical machines for the purpose of amusement or gaming. Gambling, betting, monetary awards, or any other form of payment are prohibited. For zoning purposes, the terms "internet cafe", "cyber lounge", and "gaming lab" have the same meaning as "game arcade."
Garage, private means an accessory building or an accessory portion of the main building, enclosed on all sides by walls or doors and designed or used primarily for the shelter or storage of vehicles owned or operated by the occupants of the main building.
Garage, public means any garage other than a private garage.
Gasoline station means any commercial establishment providing for the storing or dispensing of flammable liquids, combustible liquids, liquefied flammable gas or flammable gas.
General plan means the latest Council adopted Hemet General Plan.
Granny flat means either an attached or a detached accessory dwelling unit intended for the sole occupancy of one or two adult persons who are 62 years of age or older.
Guesthouse means living quarters, without kitchen facilities, located on the same lot as an existing dwelling unit for the use of persons employed on the premises, or for temporary use by guests of the occupants of the premises.
Home occupation means the conduct of an art or profession, the offering of a service, the conduct of a business or the handcraft manufacture of products in a dwelling unit in accord with the regulations prescribed in section 90-72.
Hospital means an institution for the diagnosis, care and treatment of human illness, including surgery and primary treatment.
Hotel means a building containing guestrooms or guest suites, with most rooms gaining access from a interior hallway, where lodging is provided, with or without meals, for compensation.
Internet cafe has the same meaning as "game arcade."
Junkyard means any lot or portion of any lot used for the dismantling of machinery or for the storage or keeping for sale of parts and equipment resulting from such dismantling or wrecking, or for the storage or keeping of junk, including scrap metals or other scrap materials.
Kennel means a place where four or more dogs four months of age or older are kept or a place where five or more cats four months or older are kept.
Kitchen means any room in a building or dwelling unit which is used for cooking or preparation of food.
Landscaping means the planting and continued maintenance of suitable live ornamental or beautification vegetation where an adequate irrigation system is provided, or a combination thereof with minimum areas of paving, gravel or otherwise dust-free materials.
Lot means a parcel, tract or area of land established by plat, subdivision, or otherwise permitted by law, to be used, developed or built upon. The classification of lots are as indicated below and in the accompanying figure:
Corner means a lot situated at the intersection of two or more streets, which streets have an angle of intersection or not more than 135 degrees. If the angle is greater than 135 degrees, the lot shall be considered an "interior lot."
Cul-de-sac means a lot which abuts the bulb, or curved portion of a cul-de-sac.
Double-frontage or through means a lot having frontage on two parallel or approximately parallel streets with only one primary vehicular access.
Flag means a lot having access or an easement to a public or private street by a narrow, private right-of-way.
Interior means a lot abutting only one street.
Key means any lot where the side property line abuts the rear property line of one or more lots not separated by an alley or other public way.
Knuckle means a lot which abuts the curved portion of the intersection of two streets.
Reversed corner means a corner lot, the rear of which abuts the side of another lot.
Lots
Lot depth means the horizontal distance between the front and rear lot lines, measured in the main direction of the side lot lines.
Lot line means any boundary of a lot. For unusually shaped lots, the director may determine which lot lines are the front, sides, and rear. The classifications of lot lines are:
Front means the property line abutting the street. For double frontage or through lots, the front lot line shall be the lot line abutting the street providing the primary vehicular access to the lot.
Interior means any lot line which does not separate a lot from a street.
Rear means a lot line, not a front lot line, which is parallel or approximately parallel to the front lot line. Where no lot line is parallel or approximately parallel to the front lot line, a line ten-feet in length within the lot, parallel to and at the maximum possible distance from the front lot line, shall be deemed the rear lot line for the purpose of determining required yards, setbacks and other provisions of this chapter.
Side means any lot line which is not a front lot line or a rear lot line.
Lot width means the horizontal distance between the side lot lines, measured at right angles to the lot depth at the front setback as indicated in the figures below.
Lot Lines
Machine shop means a workshop where various materials, especially metals, are cut, shaped and worked, often to tight specifications using machine tools. Machine shops are used in the creation of new items as well as repairs to existing equipment and parts.
Manufactured house means a prefabricated house installed on a permanent foundation and in accordance with the provisions of the zone in which it is located.
Massage business means any business where any person engages in, conducts, carries on or permits to be engaged in, conducted or carried on for consideration massages, baths or health treatments involving massages or baths. For the purposes of this definition, "massage" shall have the same definition as provided in section 18-212 of this Code. The business requires a massage business license pursuant to Code section 18-213, and must comply with all applicable requirements of chapter 18, article VII of this Code. For purposes of this chapter 90, massage business may be classified as one of the following.
(1)
Incidental massage business: massage services offered by barbershops, beauty shops, day spas, and nail salons where the massage services are incidental or accessory to the primary services provided and within the scope of any barber's, beautician's or manicurist's California license.
(2)
Medical massage business: physical therapy or massage provided as a prescribed treatment for a physical ailment or medical condition on patients of the medical facility by a professional who is license by the state to provide massages.
Mobile home means a structure transportable in one or more sections, designed and equipped to contain not more than one dwelling unit, to be used with or without a foundation system. The term "mobile home" shall also include state-approved factory-built housing. The term "mobile home" does not include a recreational vehicle or commercial coach.
Mobile home access drive means a private thoroughfare which affords internal circulation for a mobile home park.
Mobile home park means a parcel or site intended for residential use exclusively in mobile homes, together with recreation and accessory facilities serving the residents thereof.
Mobile home space means a plat of ground within a mobile home park designed for the accommodation of one mobile home, abutting one or more mobile home access drives.
Model home marketing complex means a sales complex consisting of not more than ten models, a sales office and landscaping designed and used only for the marketing of dwellings or lots.
Motel means guest rooms or suites occupied on a transient basis, with most rooms gaining access from an exterior walkway, including auto courts, motor lodges and tourist courts.
Nonconformity means a use, building, structure, screening, performance or sign which was lawful when established, but which does not conform to subsequently established zones or zoning regulations.
Outdoor patio, where required by zoning, means an area outside of the main dwelling and open on at least two sides, as specified in this subsection, for the enjoyment of open air uses by the resident family and their guests. An outdoor patio may have a roof or cover. An outdoor patio may be surrounded by walls provided that a minimum of 80 percent of the total wall area of the largest wall and the next largest wall, below a minimum of six-feet eight-inches of each wall, measured from the floor, remains open. The open wall area may be screened with insect screening which lets light and air pass freely. Solid plastic sheeting, glassine, glass, Plexiglas and similar materials are expressly prohibited.
Parking area means an open area, other than a street, alley or public place, used for parking motor vehicles, including individual parking spaces, required turning and backup areas, complementary landscaping and access ways to and from a public street, whether available free or for compensation.
Parking garage means a structure or building designed and maintained exclusively for the temporary parking or storage of motor vehicles, and available for public use, whether free or for compensation.
Parking space means an accessible space within a building, parking area or parking garage for the temporary parking or storage of one motor vehicle, exclusive of streets, alleys, driveways, aisles and the area of egress or ingress, and having access at all times to a public street or alley.
Pawn shop means a business that offers loans in exchange for (used) personal property as equivalent collateral with an agreed upon time frame for repayment. If a loan is not repaid on time, the collateral can then be liquidated by the pawn shop to recoup any losses.
Principal dwelling unit means a dwelling unit that serves as the principal structure of the lot on which it is located.
Principal structure means a structure or group of structures that facilitates the primary use of the lot on which it is located.
Private open space means that space immediately adjacent to the individual apartment unit and for the use of the inhabitant of the adjacent apartment. Ground floor units may use interior side yards and rear yards to satisfy the private open space needs.
Professional and technical school means a facility providing instruction, training and practical experience not involving heavy equipment, structures or vehicles, in a professional or technical business. This includes but is not limited to business, banking, computers, health services, photography, management, public relations, real estate, stocks and bonds, engineering, surveying and similar uses.
Recreation building means a building designed to be utilized primarily for games, the pursuit of hobbies, social gatherings and similar activities.
Recreation center including, but not limited to a private recreation center, health club, karate studio, tae kwon do studio, spa, racquetball club, tennis club, fitness center, nutritional center, figure salon and establishments having similar titles. Recreation center shall also mean a facility providing physical instruction, training, therapy, exercise or rehabilitation, including but not limited to any or all of the following: swimming, Jacuzzi, self-defense, dance, weight control, floor exercise, body control, weight lifting, machine exercise, isometrics, or indoor or outdoor court games.
Recycling center means a site for the collection, storage, processing, grinding and refining of reusable natural resources, including but not limited to aluminum and other metals, glass, paper, fiber or plastics.
Recycling facility means a site for the collection, storage, processing, grinding and refining of reusable natural resources, including but not limited to aluminum and other metals, glass, paper, fiber or plastics. This land use type includes a variety of facilities involved with the collection of recyclable materials, including:
(1)
Recycling, donation box. A bin, storage shed, or similar facility established as an accessory use to a primary use for the purpose of providing a collection location for donated clothes, shoes, and small household items. Such facilities generally are established by a charitable or non-profit organization.
(2)
Recycling, reverse vending machine. An automated mechanical device which accepts at least one or more types of empty beverage containers and issues a cash refund or a redeemable credit slip with a value not less than the container's redemption value, as determined by state law. These vending machines may accept aluminum cans, glass and plastic bottles, and other containers. The vending machines typically occupy an area of less than 50 square feet.
(3)
Recycling, collection facility. A facility where the public may donate, redeem, or sell recyclable materials and may include:
a.
A mobile unit;
b.
Reverse vending machines or a grouping of reverse vending machines occupying more than 50 square feet; and
c.
Kiosk-type units that may include permanent structures.
(4)
Recycling, processing facility. A structure or enclosed space used for the collection and processing of recyclable materials for shipment, or to an end-user's specifications, by such means as baling, briquetting, cleaning, compacting, crushing, flattening, grinding, mechanical sorting, remanufacturing and shredding.
Resale store means a for-profit business primarily engaged in the purchasing and selling of new and used items. Merchandise in resale stores is not obtained through donations and is subject to the same regulations as a general retail store. Resale store includes antique, consignment, secondhand, and vintage stores.
Residence means a building used, designed or intended to be used as a home or dwelling place for one or more families.
Resource collection means an establishment on a site of less than 0.50 acre in size for the collection and storage of aluminum, glass, paper and reusable household goods.
Restaurant means any commercial establishment preparing and serving food.
Roominghouse means the same as the term "boarding house" and is subject to the provisions of article X, division 1 (boarding houses and group homes) in this chapter.
Scrap and dismantling yard means outdoor establishments primarily engaged in assembling, breaking up, sorting, and the temporary storage and distribution of recyclable or reusable scrap and waste materials, including auto wreckers engaged in dismantling vehicles for scrap, and the incidental wholesale or retail sales of parts from those vehicles.
Screening means a six-foot high continuous fence, wall, hedge or combination thereof, supplemented with landscape planting, broken only for access drives and walks, that effectively blocks from public view the property which it encloses.
Secondary dwelling unit has the same meaning as accessory dwelling unit. An accessory dwelling unit also includes the following:
(1)
An efficiency unit, as defined in Section 17958.1 of the California Health and Safety Code; and
(2)
A manufactured home, as defined in Section 18007 of the California Health and Safety Code.
Senior housing means an independent living facility, complex, mobile home park or subdivision that serves persons 55 years or older as provided in article XXXI of this chapter.
Service station means the same as the term "gasoline station."
Setback means the required distance that a building, accessory structure, structure, or parking shall be located from a lot line.
Shopping center means a group of retail shops, restaurants, and other commercial establishments, which is planned, developed, owned, or managed as a unit. Shopping centers are categorized by size and use:
(1)
Regional mall or center: department stores, apparel stores, restaurants, and general merchandise. Typically, with two+ anchors and over 400,000 square feet, enclosed or with inward facing stores, and parking on the outside perimeter or in a parking garage.
(2)
Shopping center: large specialty, restaurants, home improvement, sporting goods, drug, supermarket, and discount. Typically, with two+ anchors and greater than 100,000 square feet, and configured in a straight line, L, or U shaped design.
(3)
Neighborhood center: supermarket, restaurants, and convenience-oriented offerings. Typically, with one+ anchors, 30,000—100,000 square feet, and configured in a straight line, L, or U shaped design.
(4)
Convenience or strip center: mini-mart and convenience-oriented offerings. Typically, with no anchor, less than 30,000 square feet, and parking located directly in front of the stores.
Shooting range, indoor means an indoor facility for amusement and recreation equipped with targets for practice with firearms including the sale of new and used firearms, ammunition and closely related items.
Site or lot area means the total horizontal area included within the boundary lines of a site or lot, exclusive of the area of access corridors, streets or portions of the site or lot within planned street lines.
Skilled nursing facility means a facility that offers 24-hour medical care provided by nurses and physicians. Skilled nursing facilities may care for frail residents totally dependent on nursing care. The term "skilled nursing facility" shall include convalescent hospital, nursing home, and hospice facility.
Small licensed residential care facility is defined as provided in section 90-262 of this chapter.
Storage facility (personal, mini-storage) means a structure or group of structures where individual storage spaces are leased to individuals, organizations, or businesses for self-service storage of personal property, goods, and wares.
Story means the space in a building between the surface of a floor and the surface of the floor next above, or, if there is no floor above, then the space between such floor and the ceiling next above.
Street means a public thoroughfare, dedicated or deeded and accepted, other than an alley, which affords the principal means of access to abutting property.
Structure means that which is built or constructed, an edifice or building of any kind, or any piece of work artificially built up or composed of parts joined together in some definite manner, and which requires location on the ground or attachment to something having a location on the ground, including satellite dishes, and radio or television masts, but not including fences or walls used as fences 42 inches or less in height; except as otherwise permitted, a non-building structure must meet all yard setbacks of the zone in which it is located.
Swap meet means any indoor or outdoor establishment that allows for individual sales booths or businesses to display new or used goods for sale, excluding farmers markets.
Thrift store means a non-profit establishment primarily engaged in the sale of predominantly used items, such as, clothing, household goods, furniture or appliances and includes a collection center or donation drop-off. Goods are often obtained through donations or gifts where the donor receives no value upon the sale (or gift) of such merchandise.
Trade school means a facility providing instruction, training and practical experience in an occupation, craft or business. This training may include the use of heavy equipment, machinery, vehicles or structures. This includes but is not limited to automotive, truck or diesel service and repair, aircraft service and repair, appliance service and repair, contractor services, manufacturing, printing and truck driving.
Travel trailer means a vehicle other than a motor vehicle which is designed for use for human habitation and which may be moved upon a public highway, without a special permit or chauffeurs license or both, without violating any provisions of the Vehicle Code.
Travel trailer subdivision means any area or tract of land where individual lots used for the occupancy of one travel trailer or recreational vehicle are created.
Triplex means a building designed for occupancy by three families living independently of one another, and containing three dwelling units under one common roof.
Ultimate right-of-way means the General Plan Circulation Element planned street width. For streets not defined in the General Plan Circulation Element it shall be the planned width as determined by the city engineer.
Urgent care clinic means a medical facility that treats injuries or illnesses requiring immediate care, but not serious enough to require a visit to the hospital emergency room. Urgent care clinics may be open extended hours and weekends.
Use means the purpose for which a site or structure is arranged, designed, intended, constructed, erected, moved, altered or enlarged, or for which either a site or a structure is or may be occupied or maintained.
Vehicle means a device by which any person or property may be propelled, moved or drawn upon a highway, excepting a device moved exclusively by human power or used exclusively upon stationary rails or tracks.
Wall means a freestanding structure of metal, masonry, composition, or wood, or any combination thereof, resting on or partially buried in the ground and rising above ground level, and used for confinement, privacy, protection, screening or partition purposes.
Yard means an open space on a lot or parcel, unoccupied and unobstructed by structures from the ground upward except as otherwise provided in this chapter, including the front yard, side yard and rear yard, or space between structures.
Yard, front means a yard extending across the full width of a site, the depth of which is the minimum horizontal distance between the front lot line or ultimate street right-of-way and a line parallel thereto on the site.
Yard, rear means a yard extending across the full width of a site, the depth of which is the minimum horizontal distance between the rear lot line and a line parallel thereto on the site.
Yard, side means a space extending from the front yard to the rear yard between a side lot line and the side yard setback line.
Yard, street side means a space extending from the front yard to the rear yard from the side street lot line and the side yard setback line.
Zoning map means, the official zoning map of the City of Hemet.
(Ord. No. 621; Ord. No. 856; Ord. No. 864; Ord. No. 872; Ord. No. 885; Ord. No. 887; Ord. No. 892; Ord. No. 901; Ord. No. 924; Ord. No. 954; Ord. No. 962; Ord. No. 965; Ord. No. 969; Ord. No. 1003; Ord. No. 1017; Ord. No. 1039; Ord. No. 1044; Ord. No. 1132; Ord. No. 1140; Ord. No. 1141; Ord. No. 1144; Ord. No. 1147; Ord. No. 1152; Ord. No. 1300; Ord. No. 1307; Ord. No. 1310; Ord. No. 1341; Ord. No. 1409; Code 1984, § 20100; Ord. No. 1477, § 1(20100), 9-28-93; Ord. No. 1493, Exh. B, 5-10-94; Ord. No. 1536, § 1, 2-13-96; Ord. No. 1587, § 3, 8-11-98; Ord. No. 1675, 10-8-02; Ord. No. 1684, §§ 1—5, 5-27-03; Ord. No. 1693, § 1, 9-23-03; Ord. No. 1696, § 1, 11-4-03; Ord. No. 1787, § 4(Exh. C), 9-25-07; Ord. No. 1798, § 2(a), 5-27-08; Ord. No. 1875, § 1(Exh. 1B), 1-14-14; Ord. No. 1892, § 1(Exh. A1), 12-9-14; Ord. No. 1929, § 3(Exh. A-3), 6-13-17; Ord. No. 1940, § 2(Exh. B), 12-12-17; Ord. No. 1943, § 1(Exh. A), 2-27-18; Ord. No. 1949, § 1(Exh. A, 1), 9-25-18; Ord. No. 1965(2020-004), § 1, 2-25-20; Ord. No. 1972, § 2, 2-9-21)
Cross reference— Definitions and rules of construction generally, § 1-2.
Editor's note— Section 5 of Ord. No. 1787, adopted Sept. 25, 2007, repealed § 90-4.1, which pertained to adult oriented business and entertainment establishments, and derived from Ord. No. 1530, adopted Oct. 14, 1995; and Ord. No. 1650, adopted Sept. 25, 2001. Similar provisions can be found in §§ 18-351 et seq., 18-401 et seq., and 90-18.
In order to classify, regulate, restrict and separate the use of land and structures, to regulate and to limit the height and bulk of structures, to regulate the areas of yards and other open spaces about structures, and to regulate the density of population, the following zones are established, to be known as:
(Ord. No. 621; Code 1984, § 20004; Ord. No. 1949, § 2(Exh. A, 2), 9-25-18)
(a)
The locations and the boundaries of the various zones established by this chapter are shown, delineated, and designated on the official zoning map of the city, and such map, with all notations, references, dates and other information shown thereon shall be made a part of this chapter.
(b)
The original of the zoning map, together with all subsequent amendments, additions or deletions thereto, shall be kept on file with the city clerk and shall constitute the original record.
(Ord. No. 621; Code 1984, § 20005)
Editor's note— Ord. No. 1917, § 1, adopted July 12, 2016, repealed § 90-6.5, which pertained to land use in certain zones and derived from Ord. No. 1530, adopted October 25, 1995; Ord. No. 1642, § 2, adopted April 10, 2001; Ord. No. 1657, § 1, adopted February 12, 2002; Ord. No. 1693, § 1, adopted September 23, 2003; and Ord. No. 1696, § 1, adopted November 4, 2003.
Where uncertainty exists as to the boundary of any zone as shown on the zoning map, the following rules shall apply:
(1)
A boundary indicated as approximately following a street or alley shall be construed as following the centerline thereof.
(2)
A boundary indicated as approximately following a lot line or a property ownership line shall be construed as following such lot line or property ownership line.
(3)
A boundary indicated as following a railroad line shall be construed to be midway between the main tracks.
(4)
A boundary line which is not dimensioned, and not indicated as provided in subsections (1) through (3) of this section, shall be determined by the use of the scale shown on the zoning map.
(5)
Where further uncertainty exists, the commission shall, by written decision, determine the location of the boundary in question.
(Ord. No. 621; Code 1984, § 20006)
Any property annexed to or consolidated with the city subsequent to the effective date of the ordinance codified in this chapter shall become classified as of the effective date of annexation or consolidation, to the city zoning classification which most closely approximates the uses and development standards permitted under the county or adjacent city zoning prior to annexation, except as prezoned pursuant to section 90-9.
(Ord. No. 870; Code 1984, § 20007; Ord. No. 1602, § 1, 5-25-99)
Prezoning of unincorporated territory adjoining the city may be initiated by the commission in order to determine the zoning to be established in the event of subsequent annexation to the city. Such zoning shall become effective on the effective date of the annexation.
(Ord. No. 621; Code 1984, § 20008)
(a)
Generally. On-site and off-site improvements may be required by the approving authority on an application for site plan review, minor site plan review, conditional use permit, minor use permit, variance, and minor variance on the basis of the following:
(1)
For any new construction on vacant property;
(2)
For additions to residential structures exceeding 40 percent of the habitable square footage of existing residential structures in any 36-month period;
(3)
For additions to non-residential structures exceeding 33 percent of the square footage of existing non-residential structures in any 48 month period;
(4)
For building relocations;
(5)
For parking lot improvements on residentially zoned land exceeding 40 percent of the required parking lot;
(6)
For parking lot improvements on non-residentially zoned land exceeding 33 percent of the required parking lot.
Improvements shall be made in accordance with the latest adopted City of Hemet Standard Specifications for Public Works Construction and the Hemet Municipal Code. Whenever the improvements or the performance of any work has been promised or required in connection with an action prescribed by this chapter, the applicant shall make the improvements prior to the issuance of a building permit or shall execute an agreement and provide security for performance as prescribed in this section. Improvements, in the opinion of the approving authority, which involve public safety may be required to be made prior to the issuance of a building and/or prior to occupancy.
(b)
Form of agreement and security. The agreement shall be signed by the applicant, and shall prescribe the improvements to be made with reasonable certainty, together with the estimated cost and time period allowed for completion of the work. Performance of the agreement shall be secured by a faithful performance bond or form of security approved by the city attorney, in the amount of 100 percent of the estimated cost of the work. The security may consist of but shall not be limited to the following:
(1)
A faithful performance bond, in a form and with a corporate surety approved by the city attorney.
(2)
A letter of credit issued by a bank, in a form approved by the city attorney.
(3)
The deposit with the city of cash or negotiable bonds approved by the city attorney.
(4)
The certificate of the holder of an escrow account that money is on deposit in escrow to secure payment of the cost of the work, in a form approved by the city attorney.
(Ord. No. 1562, § 2, 7-29-97)
Except as provided by this chapter, no structure or improvement shall encroach upon the ultimate right-of-way of a street shown on the latest adopted General Plan Circulation Element Map. All yards required by the zoning regulations shall be measured from the ultimate right-of-way.
(Ord. No. 1588, § 3, 8-25-98)
Editor's note— Ordinance No. 1552, § 2, adopted January 28, 1997, deleted §§ 90-10—90-16 in their entirety. Formerly, such sections pertained to lot area and lot dimensions; measurement of yards; projections into yards; height; accessory buildings; access; walls, fencing, screening and landscaping and derived from §§ 20009—20015 of the 1984 Code; Ord. No. 621; Ord. No. 1088; Ord. No. 1093; Ord. No. 1249; Ord. No. 1410; Ord. No. 1493, Exh. A, 5-10-94; Ord. No. 1527, § 1, 9-12-95.
The provisions of this chapter shall have no application to communication lines, transmission lines or distribution lines used directly or indirectly for service to the public or a portion thereof by persons subject to the jurisdiction of and regulation by the public utilities commission of the state; provided that such communication lines, transmission lines or distribution lines shall be installed or constructed with the exercise of all reasonable and practical effort to make such installation or construction harmonious and compatible with the surrounding area and the environment immediately adjacent thereto.
(Code 1984, § 20016)
Cross reference— Utilities, ch. 82.
The purpose of this section is to establish reasonable standards to regulate the location of adult businesses in order to minimize the negative secondary effects associated with the establishment, operation, and concentration of such facilities and thereby protect the public health, safety, and welfare; preserve locally recognized values of community appearance; minimize the potential for nuisances related to the operation of adult entertainment businesses, and maintain local property values.
(a)
Locational standards.
(1)
Zoning districts where adult businesses may be located. Subject to the limitations of this section and article X of chapter 18, adult businesses may be located within the following zoning districts of the city:
a.
C-1 Neighborhood Commercial Zone.
b.
C-2 General Commercial Zone.
c.
C-M Heavy Commercial-Limited Industrial Zone.
d.
M-1 Limited Industrial Zone.
e.
M-2 General Industrial Zone.
(2)
Separation from sensitive uses. In the zoning districts where an adult business would otherwise be a permitted use, an adult business may not be located within 1,000 feet from any of the following uses within the city:
a.
Any city zone or land use district, including those within planned communities and specific plans, which contain the words residence, residential, rural living, or rural residential within its title and the following zoning designations within chapter 90 of the Hemet Municipal Code: Article XI (single-family residential), Article XIII (multiple-family), Article XVI (small lot residential), Article XX (mobile home parks), Article XXII (planned unit mobile home development district), Article XXIV (travel trailer planned development zone).
b.
Any city zone or land use district, including those within planned communities and specific plans, which contain the words agriculture or agricultural within its title that is also designated for residential use by the General Plan land use map.
c.
Church, chapel, temple, religious institution, or similar place of worship.
d.
Community center.
e.
Day care facility.
f.
Home for the aged, nursing home, rest home, residential care facility, or homeless shelter.
g.
Hospital, convalescent hospital, medical facility, or mental health facility
h.
Library.
i.
Museum.
j.
Public park, playground, or other recreation center or facility.
k.
Schools and school district offices.
l.
Senior citizen activity center.
m.
Any residential use.
n.
Hotel, motel or bed and breakfast.
o.
Mobile home park, travel trailer park or recreational vehicle park.
p.
Arcade.
q.
Movie theatre.
(3)
Separation between adult business uses. An adult business may not be established or located within 1,000 feet of any other existing adult business.
(4)
Measurement of distance. For the purposes of this section, all distances will be measured in a straight line, without regard to intervening structures, from the nearest point of the building or structure in which the adult entertainment business is or will be located to the nearest property line of any land use, land use district, or zone, or to the nearest point of the building or structure or part thereof if less than the entire structure is occupied by, or proposed to be occupied by, an adult business in which an existing adult business is located.
(Ord. No. 1530, 10-25-95; Ord. No. 1537, 3-13-96; Ord. No. 1650, § 1, 9-25-01; Ord. No. 1787, § 6(Exh. D), 9-25-07)