DEFINITIONS
In the construction of this Appendix A, the rules and definitions contained in this Article shall be observed and applied, except when the context clearly indicates otherwise. For clarity of interpretation and determination of context, the following rules of word usage shall apply:
ACCESS. A means of vehicular or pedestrian approach, entry to or exit from a property or structure.
ACCESSORY STRUCTURE/BUILDING. A detached subordinate structure or building, the use of which is incidental to and located on the same lot as that of a principal structure.
ACCESSORY USE. A use incidental to and customarily associated with the specific principal use that is located on the same lot or parcel.
ACRE. An area of forty three thousand five hundred sixty (43,560) square feet.
ADULT USE. Adult bookstores, adult motion picture theaters, adult entertainment cabarets, adult retail establishments and/or other similar uses as set forth in Chapter 11, Article VI of this Code.
AFFORDABLE HOUSING. Any housing that has a sales price or rental amount that is within the means of a household that may occupy moderate income or low income housing. In the case of dwelling units for sale, housing that is affordable means housing in which mortgage, amortization, taxes, insurance and condominium or association fees, if any, constitute no more than thirty percent (30%) of the gross annual household income for a household of a size that may occupy the unit. In the case of dwelling units for rent, housing that is affordable means housing for which the rent and utilities constitute no more than thirty percent (30%) of the gross annual household income for a household of the size that may occupy the unit.
AFFORDABLE HOUSING DEVELOPMENT. 1) Any housing that is subsidized by the federal or state government or 2) any housing in which at least twenty percent (20%) of the dwelling units are subject to covenants or restrictions that require that the dwelling units be sold or rented at prices that preserve them as affordable housing for a period of at least fifteen (15) years, in the case of for sale housing, and at least thirty (30) years, in the case of rental housing.
AMENDMENT. A change in the wording, content or substance of a text or a map.
ANTIQUE: An item that is at least 50 years old, that is collected and desirable because of its age and because it is representative of a previous era or time period in human history.
ANTIQUE VENDOR: A retail operation, at which at least 80% of the inventory consists of antiques.
AMUSEMENT ESTABLISHMENT. A facility providing for public shows, theatricals, musicals, dances, concerts, movies, exhibitions, arcades, pool or billiard halls, bowling alleys, video establishments and similar places offering public entertainment for which an admission or use fee may or may not be charged.
ATTIC. The space between the ceiling beams or joists of the topmost habitable story and the underside of the roof rafters.
ATTIC, HABITABLE. An attic which has: 1) a Code compliant stairway as a means of access; 2) a floor area of not more than one-third (1/3) the area of the next lower floor; 3) a ceiling height of at least seven and one-third feet (71/3') above the attic floor. If such area is greater than one-third (1/3) of the next lower floor, it shall be considered to be another story.
AWNING. An overhead cover, often of fabric or metal designed and intended for protection from the weather or as a decorative embellishment, and which projects from a wall or roof of a structure over a window, walk, door or the like.
BASEMENT. That portion of a building, which has one-half (1/2) or more of its floor to ceiling height below grade. The foregoing notwithstanding, if more than 3.5 feet of basement height (clear floor to ceiling) is above grade than it shall be considered a floor. (See Section 3-2.1, "Diagrams", of this Article.)
BERM. An earthen mound designed to provide visual interest on a site, screen undesirable views, reduce noise or fulfill other purposes.
BUILDABLE AREA. The space remaining on a lot after subtracting the minimum yard and open space requirements of this Appendix A. Buildable area shall not include any floodplain, wetland or similarly designated unbuildable areas.
BUILDING. Any structure for the shelter, support or enclosure of persons, animals or property of any kind.
BUILDING HEIGHT. The vertical distance from the grade to the highest point of a building, including chimneys and structural or architectural features and appurtenances. (See Section 3-2.1, "Diagrams", of this Article.)
BUILDING PERMIT. An official document issued by the building official which authorizes the construction, alteration, enlargement, conversion, reconstruction, remodeling, rehabilitation, erection, demolition, moving or repair of a building or structure.
BUSINESS. Any commercial engagement in the manufacture, purchase, sale, lease or exchange of property or goods and/or the provision of services.
CANNABIS BUSINESS ESTABLISHMENT: See Chapter, 11, Sec. 11-84.1: Definitions
CANNABIS DISPENSING ORGANIZATION: See Chapter, 11, Sec. 11-84.1: Definitions
COMMUNITY MENTAL HEALTH CAMPUS. An establishment which provides outpatient mental health services administered by, or under the supervision of, registered, licensed or certified professionals in accordance with applicable federal and state laws, including mental health therapeutic and psychiatric services, crisis preventive care and intervention, and professional placement and monitoring programs. Such use may be applied to a single building or to a series of buildings, provided that all services in each building are operated by the same organization.
COMMUNITY RESIDENCE. A single-family dwelling unit occupied by persons with disabilities or impairments. As used herein, a "person with disabilities" is any individual with one or more mental or physical impairments which: 1) are likely to continue indefinitely or for a significant period of time; and 2) result in functional limitations in the capacity for independent living in one or more of the following areas of major life activities: self-care, receptive or expressive language, learning, mobility or self-direction; and 3) reflect the person's need for a combination of special interdisciplinary or generic care, treatment or other services. (See Section 3-3 of this Article.)
COMMUNITY RESIDENCE CLASS I. A community residence occupied on a relatively permanent basis by a group of four (4) or fewer unrelated persons with disabilities, plus paid professional staff, living together as a single housekeeping unit for the primary purpose of providing shelter in a family like atmosphere.
COMMUNITY RESIDENCE CLASS II. A community residence occupied on a relatively permanent basis by a group of five (5) to eight (8) unrelated persons with disabilities, plus paid professional staff, living together as a single housekeeping unit for the primary purpose of providing shelter in a family like atmosphere. (See Section 3-3 of this Article.)
COMMUNITY RESIDENCE CLASS III. A community residence occupied on a relatively permanent basis by a group of more than eight (8) unrelated persons with disabilities, plus paid professional staff, living together as a single housekeeping unit for the primary purpose of providing shelter in a family like atmosphere. (See Section 3-3 of this Article.)
CONTIGUOUS LOTS. Two (2) or more lots that are abutting or touching and have a boundary or portion of a boundary which is common or coterminous.
CONTRACT PURCHASER. A person who has executed a bona fide contract to purchase property within Northfield at a date certain, subject only to a specified action on the part of the Village and typical real estate contract exceptions.
CONVENT. Residential buildings and grounds used by a religious order. (See Section 3-3 of this Article.)
DAYCARE CENTER. A care facility receiving four (4) or more individuals for daytime care during all or part of the day.
DAYCARE HOME. A dwelling, other than a daycare center, in which a permanent occupant provides for the care of not more than three (3) individuals who are not related to each other by blood or marriage and are not legal wards or foster children of the attendant adults.
DECK. A platform structure, either freestanding or attached to a building, open to the sky and supported by pillars or posts.
DENSITY. The number of dwelling units per acre of land.
DISABILITY. A physical or mental impairment, which substantially limits one or more of a person's major life activities and impairs their ability to live independently where the impairment is likely to continue indefinitely or for a significant amount of time. This term does not include impairments relative to incarceration.
DRIVE-THROUGH FACILITY. A structure or part of a structure designed and operated to serve a patron who is seated in an automobile.
DWELLING, SINGLE-FAMILY. A residential building, containing only one dwelling unit, which is unattached to any other.
DWELLING, SINGLE-FAMILY, MULTIPLE. A residential building containing or designed to contain two (2) or more dwelling units. This shall include apartments, condominiums, row houses and duplexes.
DWELLING UNIT. One or more rooms designed, occupied or intended for occupancy as separate living quarters with cooking, sleeping, and sanitary facilities provided within the unit for the exclusive use of one family maintaining a household or a community residence.
EASEMENT. Authorization by a property owner, for the use by another, of a designated part of his or her own property for a specified purpose. Easements may also come into existence by operation of law.
EXCEPTION. The exempting from compliance with a particular Village policy, practice or regulation set forth in this Code based on criteria set forth in the specific policy, practice, regulation, ordinance or Code provision.
FAMILY. Either of the following: 1) two (2) or more persons, related to each other by blood, marriage, civil union, foster child relationship, or adoption, together with domestic servants, all living as one housekeeping unit using common kitchen facilities; or 2) four (4) or fewer persons, living together as a single housekeeping unit using common kitchen facilities.
FENCE. A barrier of wood, masonry, stone, metal or manufactured material or combination of materials erected to enclose, screen or separate outdoor areas. This term shall include fences, walls and other structural or artificial barriers that function as a wall or a fence.
FITNESS CLASS STUDIO. An establishment occupying 3,000 square feet or less of floor area, holding classes dedicated to improving the overall physical condition of its clientele by instruction in exercises that are designed to improve cardiovascular endurance, increase flexibility, enhance strength, and aid in restoring muscle tone.
FLOOR AREA. The sum of the gross horizontal area of all floors of a building as measured from the exterior faces of the exterior walls or from the centerline of common walls separating two (2) buildings.
Floor area shall exclude the following specific areas:
Chimneys.
Decks and patios.
Exterior steps and ramps.
Unenclosed porches.
Uninhabitable attic floors.
FLOOR AREA RATIO. The floor area of the building or buildings on a lot divided by the total land area of the lot. For the purpose of figuring floor area ratio, floor area shall include, without limitation, the following:
Bay windows.
Enclosed accessory structures including gazebos.
Floor spaces and shafts used for mechanical, electrical and plumbing equipment, except equipment located in a basement, roof or uninhabitable attic.
Garage space.
Habitable attic floors.
Porches enclosed on three (3) or more sides.
FOOD STORE. A grocery store, butcher store, delicatessen store, confectionery store, bakery store, produce store, fish store, ice cream store or any combination of the foregoing or any place where food or drink is prepared, handled, stored, offered for sale or sold at wholesale or retail.
GARDEN APPURTENANCES. Accessory objects, such as statues, containers, fountains, ponds, birdbaths, etc., that are an element of a garden design.
GASOLINE SERVICE STATION. Any premises utilized for the dispensing, sale or offer for sale of automobile fuel or oil. (See Chapter 11 of this Code.)
GRADE (For Height Determination). The average (mean) of elevation measurements of the finished surface of ground taken at a distance of three feet (3') from the exterior wall of the structure along all sides of the structure. The elevation datum must be tied to an established Village bench mark. "Average (mean)" is defined as the arithmetic sum of a series of elevation measurements taken at a maximum of three foot (3') intervals three feet (3') from the exterior wall of the structure divided by the sum of the number of measurements taken.
HABITABLE SPACE. Any area or room lawfully designed and/or used for living or sleeping.
HOME OCCUPATION. Any occupation or business carried on in a dwelling unit. (See Section 19-6 of this Appendix.)
HOTEL, BOUTIQUE. A hotel in which lodging is offered to transient guests with more upscale accommodations, and provides a common entrance, lobby, halls, and stairways. These types of hotels are not branded as part of a chain and they offer a more unique experience with many types of rooms, such as living rooms, social rooms, and luxury environments.
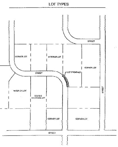
LOT, CORNER. A lot having frontage on two (2) intersecting streets. (See Section 3-2.1, "Diagrams", of this Article.)
LOT COVERAGE. The percentage of a site that is impervious, i.e., will not absorb water. This includes, but is not limited to, all areas covered by buildings, parking structures, driveways, roads, sidewalks, decks or patios and any other paved area.
LOT, DOUBLE FRONTAGE. A lot having frontage on two (2) nonintersecting streets. (See Section 3-2.1, "Diagrams," of this Article.)
LOT FRONTAGE. The length of the property line along a public or private street.
LOT, INTERIOR. A lot other than a corner lot. (See Section 3-2.1, "Diagrams", of this Article.)
LOT LINE, FRONT. A lot line that abuts a street line. For purposes of establishing setbacks, all sides of a corner or double frontage lot with street frontage shall be treated as a front lot line. If the lot does not abut a street, then the front lot line shall be determined by the Director of Community Development using accepted planning standards. (See Section 3-2.1, "Diagrams", of this Article.)
LOT LINE, REAR. The lot line which is most distant from and most nearly parallel to the front lot line. In the case of an irregular or triangular lot, that portion of the perimeter of the lot which is at least ten feet (10') long and is most parallel to and most distant from the front lot line. (See Section 3-2.1, "Diagrams", of this Article.) For purposes of establishing setbacks on corner lots the rear lot line shall be considered as parallel to the front lot line which has the least dimension.
LOT LINE, SIDE. Any lot line on a particular lot, which is not a front lot line or a rear lot line. (See Section 3-2.1, "Diagrams", of this Article.)
LOT LINES. The lines forming the plane geometric perimeter of a lot.
LOT OF RECORD. A lot which is part of a subdivision, the map of which has been recorded in the Office of the Recorder of Deeds of Cook County, or a lot described by metes and bounds, the description of which has been separately recorded in the Office of the Recorder of Deeds.
LOT, ZONING. A single parcel of land used, developed or built upon as a unit, under single ownership or control. Every zoning lot must have access to a public street either by having frontage on a public street or by a private road. A zoning lot may or may not coincide with a lot of record.
MASSAGE THERAPY. Nonmedical or nonsurgical manipulative exercises or devices that are practiced on the human body by a massage therapist. (See Chapter 11, Article II, Division XIV of this Code.)
MEDICAL CANNABIS CULTIVATION CENTER: See Chapter, 11, Sec. 11-84.1: Definitions
MEDICAL CANNABIS DISPENSING ORGANIZATION: See Chapter, 11, Sec. 11-84.1: Definitions
MEDICAL CANNABIS ORGANIZATION: See Chapter, 11, Sec. 11-84.1: Definitions
MICRO-PRODUCTION OF ALCOHOL. A facility for the production and packaging of alcoholic beverages, such as beer, wine, spirits, cider, and mead, for distribution and consumption on-premises. Facilities may include a bar/tasting room and/or restaurant for consumption and tasting on-premises. It may also include retail to purchase beverages manufactured on-site and related items. A tasting room is an area within the premises of the brewery's production facilities where guests may sample the brewery's products.
MODEL/SHOWCASE HOMES. A single-family home temporarily open to the public for the purpose of displaying the work of interior designers, landscape architects and/or architects. (See Chapter 11, Article V of this Code.)
MUNICIPAL USES. Village owned and operated land and facilities.
MUSIC VENUE, LIVE. A live music venue provides live music in a nontheatrical setting without a theatrical stage other than a raised platform or without fixed seating. A live music venue is not an establishment in which the principal use is the service of prepared food and beverages and in which the land user provides entertainment as an accessory to the service of prepared food and beverages, nor is a live music venue a performing arts facility in which performances are provided in a theatrical setting or with fixed seating.
NONCONFORMING STRUCTURE. Any building or structure or portion of a building or structure, lawfully existing at the time of its construction, which by annexation, map amendment or subsequent regulation does not conform with the requirements of the district in which it is located.
NONCONFORMING USE. A use that lawfully existed at the time the use was established, but by annexation, map amendment or subsequent regulation does not meet the use requirements of the district in which it is located.
OFF STREET PARKING. Space designated on a portion of private premises for parking of the automobiles of patrons, residents or employees.
OFFICE. A room or group of rooms used for the practice of a profession, or the conduct of business or government agency work where no sales, assembly, manufacture or storage of products takes place. This definition, likewise, does not include other more intensive uses that may be ancillary to the office use such as warehouses, showrooms, storage of goods to be sold, outdoor storage or parking of company delivery or service vehicles.
OFFICE, MEDICAL OR DENTAL. An establishment where human patients, not lodged overnight, are admitted for examination and treatment by licensed, certified or registered healthcare professionals, including, but not limited to: physicians, dentists, chiropractors, optometrists, psychiatrists, accupuncturists, physical therapists, and behavioral therapists.
OPEN SPACE. Land and/or water areas retained for use as active or passive recreation areas or for resource protection in an essentially undeveloped state. Open spaces shall not include any paved areas.
OUTDOOR SEATING. An outdoor use accessory to a restaurant located in an adjacent courtyard or between the restaurant and the public right-of-way.
OUTDOOR STORAGE. The storage of any material of any kind, including, but not limited to, items for sale, lease, processing or repair (including vehicles) when not in a fully enclosed building.
PARK DISTRICT SPECIAL COMMUNITY AND CIVIC EVENTS. Events sponsored by the Park District or the Park District in cooperation with another government or civic entity; the objective of which is to enhance the sense of community in the Village. Such events might include, among others, seasonal youth activities, food tasting, food preparation competitions, musical concerts, theatrical performances, markets and outdoor movies.
PARKING LOT. An area specifically set aside for the parking of motor vehicles.
PARKING STRUCTURE. A structure designed to accommodate vehicular parking that is fully or partially enclosed or located on the deck of a building. This definition includes parking garages, deck parking and underground or under building parking areas.
PATIO. A paved, masonry, stone or other decking surface at finished grade without a permanent roof.
PERFORMANCE STANDARD. A standard of operation associated with a particular use or activity, which limits noise, air pollution, emission, odor, vibration, dust, dirt, glare, heat, fire hazard, waste, traffic or visual impact.
PERFORMING ARTS FACILITY. A performing arts facility provides performance of various performing arts like music, dance, drama, and other related disciplines in a theatrical setting with a stage and fixed seating.
PET DAYCARE. An establishment where pets are cared for indoors but not overnightboardeddayovernight
PET GROOMING. An establishment where pets are groomed indoors but not boarded overnight.
PET TRAINING. An establishment where pets are trained indoors but not boarded overnight.
PLAN, COMPREHENSIVE. The officially adopted plan of the Village. The Comprehensive Plan is different from the official zoning map.
PLANNED UNIT DEVELOPMENT. A contiguous area of minimum size to be planned and developed as single development under single ownership or control, which includes one or more principal buildings and is processed under the planned unit development provisions of this Appendix A.
PORCH, OPEN. A roofed structure attached to a building and open on two (2) or more sides. A screened in porch shall not be considered open.
PRESCHOOL. A school for children primarily between the ages of three (3) and five (5), providing preparation for elementary school.
PRIVATE LEISURE CLUB. A club devoted primarily to outdoor activities such as swimming, tennis and neighborhood picnics. (See Section 3-3 of this Article.)
PSYCHOSOCIAL REHABILITATION. The providing of supportive care, counseling and training to persons with social, psychological, mental or developmental disabilities.
PUBLIC COMMUNITY CENTER. A not for profit indoor and/or outdoor recreational and meeting facility that is owned and operated by either: a) a governmental agency or b) a social service agency whose primary purpose is to provide programs and support for senior citizens. Such a center shall be available for the following social and educational activities only:
Accessory recreational.
Fitness facilities.
Food service concessions.
Governmental and social service agency offices.
Gymnasiums.
Office and storage uses.
Public meeting rooms.
PUBLIC NECESSITY. A need for the good of a significant portion of the community at large, rather than a need for a particular individual or special segment of the community.
PUBLIC RIGHT-OF-WAY. Land titled to a public agency that is dedicated for public use to accommodate a transportation system and/or public infrastructure.
RECREATION CENTER. A facility intended for sports and leisure activities, operated by a park district or similar not for profit agency.
RELIGIOUS INSTITUTION. A facility, including accessory structures and uses, intended for assembly of persons for religious purposes. Religious institutions may include churches, temples, synagogues, mosques, chapels, cathedrals and similar designations, but shall exclude convents and other similar structures whose primary use is residential.
RESTAURANT. An eating place open to the public or accessible to members of such eating place; where food and beverages are prepared and sold ready for consumption; provided that, a bakery, coffee shop or ice cream/dessert shop, or food store that sells prepared food incidental to their principal product shall not be considered a restaurant.
RESTAURANT, FAST FOOD. A restaurant where: (i) menu items consist of pre-cooked or quickly prepared food items; (ii) food is ordered at a counter or kiosk and then predominately picked up at a counter; no or minimal table service is provided; and (iii) food is principally offered or served on or in disposable tableware or containers for immediate consumption on or away from the premises. A "fast food restaurant" includes a business that predominantly provides home delivery or carry-out services.
RESTAURANT, FULL SERVICE. A restaurant where food is principally ordered and served at a patron's table and is principally offered or served on or in non-disposable tableware for immediate consumption on the premises. The fact that a standard restaurant may incidentally prepare meals and similar menu items for off-premises consumption in disposal containers shall not prevent it from being classified as a standard restaurant.
RESTAURANT, LIMITED SERVICE. A restaurant where: (i) menu items are primarily made fresh to order and are prepared upon request; (ii) food is ordered at a counter or kiosk and then served at the patron's table in a dine-in area; and (iii) food is offered or served on or in either non-disposable or disposable tableware for immediate consumption on the premises. Meals may be carried out of the restaurant; however, food is generally designed to be consumed with utensils, at a table, rather than designed for consumption within a vehicle or in transit. A limited service/fast casual restaurant may provide home delivery or customer pick-up services incidental to the primary food service on the premises.
SELF-STORAGE FACILITY. An interior loading facility used for the storage of personal property where individuals lease or otherwise control individual storage spaces.
SENIOR HOUSING FACILITY - DEPENDENT. A facility that provides daily assistance and long-term residence for disabled or elderly individuals. This includes a combination of housing, supportive services, personalized assistance, and health care designed to respond to the individual needs of those who need help with activities of daily living, such as dressing, grooming, bathing, etc. A "Senior Housing Facility – Dependent" shall not include a “Senior Housing Facility – Independent", "Community Residence" or "Skilled Nursing Facility"HomeFacility.
SENIOR HOUSING FACILITY- INDEPENDENT. A residential building containing multiple dwellings where the occupancy is limited to persons who are 62 years of age or older or, if two (2) or more persons occupy a unit, one (1) resident may be less than 62 years old. Such facilities shall include common areas for meals and socializing, offer minimal convenience services, but exclude institutional care such as medical or nursing care. “Senior Housing Facility – Independent” shall not include "Senior Housing Facility – Dependent”, “Community Residence” or “Skilled Nursing Facility" Home Facility.
SERVICE ORGANIZATION. A corporation or association organized for a social, educational or recreational purpose, to which membership is required for participation.
SETBACK. The minimum distance as set forth in this Appendix A establishing a required yard to separate a building or other structure from a street for motor vehicles, an access easement for motor vehicles or lot line. (See Section 3-2.1, "Diagrams", of this Article.)
SHORT TERM DWELLING RENTAL. A single room, dwelling, or portion of a dwelling offered or advertised for rent or other consideration for a period of less than sixty (60) consecutive days.
SKILLED NURSING FACILITY. A facility providing nursing and rehabilitation care and inpatient services on a twenty-four (24) hour per day basis for persons requiring regular medical attention. This definition excludes a facility providing surgical or emergency medical services, or a facility providing care for alcoholism, drug addiction, mental disease or communicable disease. A "Skilled NursingFacility Home" shall not include "Senior Housing Facility – Independent”, “Senior Housing Facility – Dependent”, "Community Residence" or "Hospital."
STABLE. A building for the shelter of horses, which is incidental to the primary residential use of the site.
STORY. That portion of a building, other than a basement, included between the top surface of any flooring and the top surface of the flooring above it or if there is no other flooring above it, then the space between the surface of the topmost flooring and the next ceiling above such surface. Habitable attics shall be considered a one-half (1/2) story. (See Section 3-2.1, "Diagrams", of this Article.)
STREET. Any vehicular way that: 1) is an existing State, County or Municipal roadway; or 2) is shown on a plat approved pursuant to law; or 3) is approved by official action for other uses such as private ingress, egress or easement. Unless otherwise indicated, the term street shall refer to both public and private streets.
STRUCTURAL ALTERATIONS. Any change in the supporting members of a building, such as bearing walls, headers, columns, beams, joists or girders or any substantial change to the roof, floor or walls.
STRUCTURE. Except for lighting fixtures, anything that is constructed or erected, the use of which requires permanent location and affixing to on the ground.
TRANSITIONAL YARDS. The minimum land area, established by Code, to buffer residential districts from adjacent commercial or manufacturing uses. (See Section 3-3 of this Article.)
USE, PERMITTED. A use permitted in a district, upon satisfaction of the standards and requirements of this Appendix A, without the need for a public hearing before a board or commission.
USE, PRINCIPAL. The primary use of any lot or structure.
USE, PUBLIC. A use conducted by or a facility or structure owned or managed by a unit of government.
USE, SPECIAL. A use that is specifically set forth in this Appendix A, but not permitted without special administrative review, a public hearing and approval by the Village Board.
USE, TEMPORARY. The use of property for a limited period of time for a special event, sale, gathering or similar use.
VARIATION/VARIANCE/EXCEPTION. Any departure from the strict application of any provision of this Appendix A.
VETERINARY CLINIC. A place where animals are given medical or surgical treatment and are cared for or boarded during the time of such treatment. (See Section 3-3 of this Article.)
WAREHOUSE. Facilities characterized by extensive storage of materials and frequent loading and unloading activity, but not involved in manufacturing or production.
YARD. An open space at grade between a building and the lot lines on which the building is located. In measuring a yard for the purpose of determining the width of a side yard, the depth of a front yard or the depth of a rear yard, the least horizontal distance between the lot line and the main building shall be used.
YARD, FRONT. A yard extending across the full width of the front of a lot, the depth of which is the minimum permissible horizontal distance between the public right-of-way for motor vehicles, the street line, or a private access easement for motor vehicles and the front of the main building as specified by this Appendix A for that zoning district.
YARD, REAR. A yard extending across the full width of the rear of a lot, the depth of which is the minimum horizontal distance between the rear lot line and the rear of the main building as specified by this Appendix A for that zoning district. On corner lots the rear yard shall be considered as parallel to the street upon which the lot has its least dimension. On both corner lots and interior lots the rear yard shall in all cases be at the opposite end of the lot from the front yard.
YARD, SIDE. A yard extending across the side of a lot, from the front lot line to the rear lot line, which is the minimum horizontal distance between the side lot line and the side of the main building excluding steps, unenclosed balconies or unenclosed porches as specified by this Appendix A for that zoning district.
ZONING MAP. A map adopted by the Village that delineates the extent of each district or zone.
ZONING ORDINANCE. An ordinance enacted by the Village Board that sets forth regulations and standards relating to the nature and extent of uses of land and structures. (Ord. 03-1155, 3-18-2003; amd. Ord. 05-1231, 2-15-2005; Ord. 06-1312, 12-5-2006; Ord. 13-1546, 3-19-2013; Ord. 14-1592, 6-17-2014; Ord. 19-1737, 1-15-2019; Ord. 19-1738, 2-19-2019, Ord #23-1835)
(Ord. 03-1155, 3-18-2003)
DEFINITIONS
In the construction of this Appendix A, the rules and definitions contained in this Article shall be observed and applied, except when the context clearly indicates otherwise. For clarity of interpretation and determination of context, the following rules of word usage shall apply:
ACCESS. A means of vehicular or pedestrian approach, entry to or exit from a property or structure.
ACCESSORY STRUCTURE/BUILDING. A detached subordinate structure or building, the use of which is incidental to and located on the same lot as that of a principal structure.
ACCESSORY USE. A use incidental to and customarily associated with the specific principal use that is located on the same lot or parcel.
ACRE. An area of forty three thousand five hundred sixty (43,560) square feet.
ADULT USE. Adult bookstores, adult motion picture theaters, adult entertainment cabarets, adult retail establishments and/or other similar uses as set forth in Chapter 11, Article VI of this Code.
AFFORDABLE HOUSING. Any housing that has a sales price or rental amount that is within the means of a household that may occupy moderate income or low income housing. In the case of dwelling units for sale, housing that is affordable means housing in which mortgage, amortization, taxes, insurance and condominium or association fees, if any, constitute no more than thirty percent (30%) of the gross annual household income for a household of a size that may occupy the unit. In the case of dwelling units for rent, housing that is affordable means housing for which the rent and utilities constitute no more than thirty percent (30%) of the gross annual household income for a household of the size that may occupy the unit.
AFFORDABLE HOUSING DEVELOPMENT. 1) Any housing that is subsidized by the federal or state government or 2) any housing in which at least twenty percent (20%) of the dwelling units are subject to covenants or restrictions that require that the dwelling units be sold or rented at prices that preserve them as affordable housing for a period of at least fifteen (15) years, in the case of for sale housing, and at least thirty (30) years, in the case of rental housing.
AMENDMENT. A change in the wording, content or substance of a text or a map.
ANTIQUE: An item that is at least 50 years old, that is collected and desirable because of its age and because it is representative of a previous era or time period in human history.
ANTIQUE VENDOR: A retail operation, at which at least 80% of the inventory consists of antiques.
AMUSEMENT ESTABLISHMENT. A facility providing for public shows, theatricals, musicals, dances, concerts, movies, exhibitions, arcades, pool or billiard halls, bowling alleys, video establishments and similar places offering public entertainment for which an admission or use fee may or may not be charged.
ATTIC. The space between the ceiling beams or joists of the topmost habitable story and the underside of the roof rafters.
ATTIC, HABITABLE. An attic which has: 1) a Code compliant stairway as a means of access; 2) a floor area of not more than one-third (1/3) the area of the next lower floor; 3) a ceiling height of at least seven and one-third feet (71/3') above the attic floor. If such area is greater than one-third (1/3) of the next lower floor, it shall be considered to be another story.
AWNING. An overhead cover, often of fabric or metal designed and intended for protection from the weather or as a decorative embellishment, and which projects from a wall or roof of a structure over a window, walk, door or the like.
BASEMENT. That portion of a building, which has one-half (1/2) or more of its floor to ceiling height below grade. The foregoing notwithstanding, if more than 3.5 feet of basement height (clear floor to ceiling) is above grade than it shall be considered a floor. (See Section 3-2.1, "Diagrams", of this Article.)
BERM. An earthen mound designed to provide visual interest on a site, screen undesirable views, reduce noise or fulfill other purposes.
BUILDABLE AREA. The space remaining on a lot after subtracting the minimum yard and open space requirements of this Appendix A. Buildable area shall not include any floodplain, wetland or similarly designated unbuildable areas.
BUILDING. Any structure for the shelter, support or enclosure of persons, animals or property of any kind.
BUILDING HEIGHT. The vertical distance from the grade to the highest point of a building, including chimneys and structural or architectural features and appurtenances. (See Section 3-2.1, "Diagrams", of this Article.)
BUILDING PERMIT. An official document issued by the building official which authorizes the construction, alteration, enlargement, conversion, reconstruction, remodeling, rehabilitation, erection, demolition, moving or repair of a building or structure.
BUSINESS. Any commercial engagement in the manufacture, purchase, sale, lease or exchange of property or goods and/or the provision of services.
CANNABIS BUSINESS ESTABLISHMENT: See Chapter, 11, Sec. 11-84.1: Definitions
CANNABIS DISPENSING ORGANIZATION: See Chapter, 11, Sec. 11-84.1: Definitions
COMMUNITY MENTAL HEALTH CAMPUS. An establishment which provides outpatient mental health services administered by, or under the supervision of, registered, licensed or certified professionals in accordance with applicable federal and state laws, including mental health therapeutic and psychiatric services, crisis preventive care and intervention, and professional placement and monitoring programs. Such use may be applied to a single building or to a series of buildings, provided that all services in each building are operated by the same organization.
COMMUNITY RESIDENCE. A single-family dwelling unit occupied by persons with disabilities or impairments. As used herein, a "person with disabilities" is any individual with one or more mental or physical impairments which: 1) are likely to continue indefinitely or for a significant period of time; and 2) result in functional limitations in the capacity for independent living in one or more of the following areas of major life activities: self-care, receptive or expressive language, learning, mobility or self-direction; and 3) reflect the person's need for a combination of special interdisciplinary or generic care, treatment or other services. (See Section 3-3 of this Article.)
COMMUNITY RESIDENCE CLASS I. A community residence occupied on a relatively permanent basis by a group of four (4) or fewer unrelated persons with disabilities, plus paid professional staff, living together as a single housekeeping unit for the primary purpose of providing shelter in a family like atmosphere.
COMMUNITY RESIDENCE CLASS II. A community residence occupied on a relatively permanent basis by a group of five (5) to eight (8) unrelated persons with disabilities, plus paid professional staff, living together as a single housekeeping unit for the primary purpose of providing shelter in a family like atmosphere. (See Section 3-3 of this Article.)
COMMUNITY RESIDENCE CLASS III. A community residence occupied on a relatively permanent basis by a group of more than eight (8) unrelated persons with disabilities, plus paid professional staff, living together as a single housekeeping unit for the primary purpose of providing shelter in a family like atmosphere. (See Section 3-3 of this Article.)
CONTIGUOUS LOTS. Two (2) or more lots that are abutting or touching and have a boundary or portion of a boundary which is common or coterminous.
CONTRACT PURCHASER. A person who has executed a bona fide contract to purchase property within Northfield at a date certain, subject only to a specified action on the part of the Village and typical real estate contract exceptions.
CONVENT. Residential buildings and grounds used by a religious order. (See Section 3-3 of this Article.)
DAYCARE CENTER. A care facility receiving four (4) or more individuals for daytime care during all or part of the day.
DAYCARE HOME. A dwelling, other than a daycare center, in which a permanent occupant provides for the care of not more than three (3) individuals who are not related to each other by blood or marriage and are not legal wards or foster children of the attendant adults.
DECK. A platform structure, either freestanding or attached to a building, open to the sky and supported by pillars or posts.
DENSITY. The number of dwelling units per acre of land.
DISABILITY. A physical or mental impairment, which substantially limits one or more of a person's major life activities and impairs their ability to live independently where the impairment is likely to continue indefinitely or for a significant amount of time. This term does not include impairments relative to incarceration.
DRIVE-THROUGH FACILITY. A structure or part of a structure designed and operated to serve a patron who is seated in an automobile.
DWELLING, SINGLE-FAMILY. A residential building, containing only one dwelling unit, which is unattached to any other.
DWELLING, SINGLE-FAMILY, MULTIPLE. A residential building containing or designed to contain two (2) or more dwelling units. This shall include apartments, condominiums, row houses and duplexes.
DWELLING UNIT. One or more rooms designed, occupied or intended for occupancy as separate living quarters with cooking, sleeping, and sanitary facilities provided within the unit for the exclusive use of one family maintaining a household or a community residence.
EASEMENT. Authorization by a property owner, for the use by another, of a designated part of his or her own property for a specified purpose. Easements may also come into existence by operation of law.
EXCEPTION. The exempting from compliance with a particular Village policy, practice or regulation set forth in this Code based on criteria set forth in the specific policy, practice, regulation, ordinance or Code provision.
FAMILY. Either of the following: 1) two (2) or more persons, related to each other by blood, marriage, civil union, foster child relationship, or adoption, together with domestic servants, all living as one housekeeping unit using common kitchen facilities; or 2) four (4) or fewer persons, living together as a single housekeeping unit using common kitchen facilities.
FENCE. A barrier of wood, masonry, stone, metal or manufactured material or combination of materials erected to enclose, screen or separate outdoor areas. This term shall include fences, walls and other structural or artificial barriers that function as a wall or a fence.
FITNESS CLASS STUDIO. An establishment occupying 3,000 square feet or less of floor area, holding classes dedicated to improving the overall physical condition of its clientele by instruction in exercises that are designed to improve cardiovascular endurance, increase flexibility, enhance strength, and aid in restoring muscle tone.
FLOOR AREA. The sum of the gross horizontal area of all floors of a building as measured from the exterior faces of the exterior walls or from the centerline of common walls separating two (2) buildings.
Floor area shall exclude the following specific areas:
Chimneys.
Decks and patios.
Exterior steps and ramps.
Unenclosed porches.
Uninhabitable attic floors.
FLOOR AREA RATIO. The floor area of the building or buildings on a lot divided by the total land area of the lot. For the purpose of figuring floor area ratio, floor area shall include, without limitation, the following:
Bay windows.
Enclosed accessory structures including gazebos.
Floor spaces and shafts used for mechanical, electrical and plumbing equipment, except equipment located in a basement, roof or uninhabitable attic.
Garage space.
Habitable attic floors.
Porches enclosed on three (3) or more sides.
FOOD STORE. A grocery store, butcher store, delicatessen store, confectionery store, bakery store, produce store, fish store, ice cream store or any combination of the foregoing or any place where food or drink is prepared, handled, stored, offered for sale or sold at wholesale or retail.
GARDEN APPURTENANCES. Accessory objects, such as statues, containers, fountains, ponds, birdbaths, etc., that are an element of a garden design.
GASOLINE SERVICE STATION. Any premises utilized for the dispensing, sale or offer for sale of automobile fuel or oil. (See Chapter 11 of this Code.)
GRADE (For Height Determination). The average (mean) of elevation measurements of the finished surface of ground taken at a distance of three feet (3') from the exterior wall of the structure along all sides of the structure. The elevation datum must be tied to an established Village bench mark. "Average (mean)" is defined as the arithmetic sum of a series of elevation measurements taken at a maximum of three foot (3') intervals three feet (3') from the exterior wall of the structure divided by the sum of the number of measurements taken.
HABITABLE SPACE. Any area or room lawfully designed and/or used for living or sleeping.
HOME OCCUPATION. Any occupation or business carried on in a dwelling unit. (See Section 19-6 of this Appendix.)
HOTEL, BOUTIQUE. A hotel in which lodging is offered to transient guests with more upscale accommodations, and provides a common entrance, lobby, halls, and stairways. These types of hotels are not branded as part of a chain and they offer a more unique experience with many types of rooms, such as living rooms, social rooms, and luxury environments.
LOT, CORNER. A lot having frontage on two (2) intersecting streets. (See Section 3-2.1, "Diagrams", of this Article.)
LOT COVERAGE. The percentage of a site that is impervious, i.e., will not absorb water. This includes, but is not limited to, all areas covered by buildings, parking structures, driveways, roads, sidewalks, decks or patios and any other paved area.
LOT, DOUBLE FRONTAGE. A lot having frontage on two (2) nonintersecting streets. (See Section 3-2.1, "Diagrams," of this Article.)
LOT FRONTAGE. The length of the property line along a public or private street.
LOT, INTERIOR. A lot other than a corner lot. (See Section 3-2.1, "Diagrams", of this Article.)
LOT LINE, FRONT. A lot line that abuts a street line. For purposes of establishing setbacks, all sides of a corner or double frontage lot with street frontage shall be treated as a front lot line. If the lot does not abut a street, then the front lot line shall be determined by the Director of Community Development using accepted planning standards. (See Section 3-2.1, "Diagrams", of this Article.)
LOT LINE, REAR. The lot line which is most distant from and most nearly parallel to the front lot line. In the case of an irregular or triangular lot, that portion of the perimeter of the lot which is at least ten feet (10') long and is most parallel to and most distant from the front lot line. (See Section 3-2.1, "Diagrams", of this Article.) For purposes of establishing setbacks on corner lots the rear lot line shall be considered as parallel to the front lot line which has the least dimension.
LOT LINE, SIDE. Any lot line on a particular lot, which is not a front lot line or a rear lot line. (See Section 3-2.1, "Diagrams", of this Article.)
LOT LINES. The lines forming the plane geometric perimeter of a lot.
LOT OF RECORD. A lot which is part of a subdivision, the map of which has been recorded in the Office of the Recorder of Deeds of Cook County, or a lot described by metes and bounds, the description of which has been separately recorded in the Office of the Recorder of Deeds.
LOT, ZONING. A single parcel of land used, developed or built upon as a unit, under single ownership or control. Every zoning lot must have access to a public street either by having frontage on a public street or by a private road. A zoning lot may or may not coincide with a lot of record.
MASSAGE THERAPY. Nonmedical or nonsurgical manipulative exercises or devices that are practiced on the human body by a massage therapist. (See Chapter 11, Article II, Division XIV of this Code.)
MEDICAL CANNABIS CULTIVATION CENTER: See Chapter, 11, Sec. 11-84.1: Definitions
MEDICAL CANNABIS DISPENSING ORGANIZATION: See Chapter, 11, Sec. 11-84.1: Definitions
MEDICAL CANNABIS ORGANIZATION: See Chapter, 11, Sec. 11-84.1: Definitions
MICRO-PRODUCTION OF ALCOHOL. A facility for the production and packaging of alcoholic beverages, such as beer, wine, spirits, cider, and mead, for distribution and consumption on-premises. Facilities may include a bar/tasting room and/or restaurant for consumption and tasting on-premises. It may also include retail to purchase beverages manufactured on-site and related items. A tasting room is an area within the premises of the brewery's production facilities where guests may sample the brewery's products.
MODEL/SHOWCASE HOMES. A single-family home temporarily open to the public for the purpose of displaying the work of interior designers, landscape architects and/or architects. (See Chapter 11, Article V of this Code.)
MUNICIPAL USES. Village owned and operated land and facilities.
MUSIC VENUE, LIVE. A live music venue provides live music in a nontheatrical setting without a theatrical stage other than a raised platform or without fixed seating. A live music venue is not an establishment in which the principal use is the service of prepared food and beverages and in which the land user provides entertainment as an accessory to the service of prepared food and beverages, nor is a live music venue a performing arts facility in which performances are provided in a theatrical setting or with fixed seating.
NONCONFORMING STRUCTURE. Any building or structure or portion of a building or structure, lawfully existing at the time of its construction, which by annexation, map amendment or subsequent regulation does not conform with the requirements of the district in which it is located.
NONCONFORMING USE. A use that lawfully existed at the time the use was established, but by annexation, map amendment or subsequent regulation does not meet the use requirements of the district in which it is located.
OFF STREET PARKING. Space designated on a portion of private premises for parking of the automobiles of patrons, residents or employees.
OFFICE. A room or group of rooms used for the practice of a profession, or the conduct of business or government agency work where no sales, assembly, manufacture or storage of products takes place. This definition, likewise, does not include other more intensive uses that may be ancillary to the office use such as warehouses, showrooms, storage of goods to be sold, outdoor storage or parking of company delivery or service vehicles.
OFFICE, MEDICAL OR DENTAL. An establishment where human patients, not lodged overnight, are admitted for examination and treatment by licensed, certified or registered healthcare professionals, including, but not limited to: physicians, dentists, chiropractors, optometrists, psychiatrists, accupuncturists, physical therapists, and behavioral therapists.
OPEN SPACE. Land and/or water areas retained for use as active or passive recreation areas or for resource protection in an essentially undeveloped state. Open spaces shall not include any paved areas.
OUTDOOR SEATING. An outdoor use accessory to a restaurant located in an adjacent courtyard or between the restaurant and the public right-of-way.
OUTDOOR STORAGE. The storage of any material of any kind, including, but not limited to, items for sale, lease, processing or repair (including vehicles) when not in a fully enclosed building.
PARK DISTRICT SPECIAL COMMUNITY AND CIVIC EVENTS. Events sponsored by the Park District or the Park District in cooperation with another government or civic entity; the objective of which is to enhance the sense of community in the Village. Such events might include, among others, seasonal youth activities, food tasting, food preparation competitions, musical concerts, theatrical performances, markets and outdoor movies.
PARKING LOT. An area specifically set aside for the parking of motor vehicles.
PARKING STRUCTURE. A structure designed to accommodate vehicular parking that is fully or partially enclosed or located on the deck of a building. This definition includes parking garages, deck parking and underground or under building parking areas.
PATIO. A paved, masonry, stone or other decking surface at finished grade without a permanent roof.
PERFORMANCE STANDARD. A standard of operation associated with a particular use or activity, which limits noise, air pollution, emission, odor, vibration, dust, dirt, glare, heat, fire hazard, waste, traffic or visual impact.
PERFORMING ARTS FACILITY. A performing arts facility provides performance of various performing arts like music, dance, drama, and other related disciplines in a theatrical setting with a stage and fixed seating.
PET DAYCARE. An establishment where pets are cared for indoors but not overnightboardeddayovernight
PET GROOMING. An establishment where pets are groomed indoors but not boarded overnight.
PET TRAINING. An establishment where pets are trained indoors but not boarded overnight.
PLAN, COMPREHENSIVE. The officially adopted plan of the Village. The Comprehensive Plan is different from the official zoning map.
PLANNED UNIT DEVELOPMENT. A contiguous area of minimum size to be planned and developed as single development under single ownership or control, which includes one or more principal buildings and is processed under the planned unit development provisions of this Appendix A.
PORCH, OPEN. A roofed structure attached to a building and open on two (2) or more sides. A screened in porch shall not be considered open.
PRESCHOOL. A school for children primarily between the ages of three (3) and five (5), providing preparation for elementary school.
PRIVATE LEISURE CLUB. A club devoted primarily to outdoor activities such as swimming, tennis and neighborhood picnics. (See Section 3-3 of this Article.)
PSYCHOSOCIAL REHABILITATION. The providing of supportive care, counseling and training to persons with social, psychological, mental or developmental disabilities.
PUBLIC COMMUNITY CENTER. A not for profit indoor and/or outdoor recreational and meeting facility that is owned and operated by either: a) a governmental agency or b) a social service agency whose primary purpose is to provide programs and support for senior citizens. Such a center shall be available for the following social and educational activities only:
Accessory recreational.
Fitness facilities.
Food service concessions.
Governmental and social service agency offices.
Gymnasiums.
Office and storage uses.
Public meeting rooms.
PUBLIC NECESSITY. A need for the good of a significant portion of the community at large, rather than a need for a particular individual or special segment of the community.
PUBLIC RIGHT-OF-WAY. Land titled to a public agency that is dedicated for public use to accommodate a transportation system and/or public infrastructure.
RECREATION CENTER. A facility intended for sports and leisure activities, operated by a park district or similar not for profit agency.
RELIGIOUS INSTITUTION. A facility, including accessory structures and uses, intended for assembly of persons for religious purposes. Religious institutions may include churches, temples, synagogues, mosques, chapels, cathedrals and similar designations, but shall exclude convents and other similar structures whose primary use is residential.
RESTAURANT. An eating place open to the public or accessible to members of such eating place; where food and beverages are prepared and sold ready for consumption; provided that, a bakery, coffee shop or ice cream/dessert shop, or food store that sells prepared food incidental to their principal product shall not be considered a restaurant.
RESTAURANT, FAST FOOD. A restaurant where: (i) menu items consist of pre-cooked or quickly prepared food items; (ii) food is ordered at a counter or kiosk and then predominately picked up at a counter; no or minimal table service is provided; and (iii) food is principally offered or served on or in disposable tableware or containers for immediate consumption on or away from the premises. A "fast food restaurant" includes a business that predominantly provides home delivery or carry-out services.
RESTAURANT, FULL SERVICE. A restaurant where food is principally ordered and served at a patron's table and is principally offered or served on or in non-disposable tableware for immediate consumption on the premises. The fact that a standard restaurant may incidentally prepare meals and similar menu items for off-premises consumption in disposal containers shall not prevent it from being classified as a standard restaurant.
RESTAURANT, LIMITED SERVICE. A restaurant where: (i) menu items are primarily made fresh to order and are prepared upon request; (ii) food is ordered at a counter or kiosk and then served at the patron's table in a dine-in area; and (iii) food is offered or served on or in either non-disposable or disposable tableware for immediate consumption on the premises. Meals may be carried out of the restaurant; however, food is generally designed to be consumed with utensils, at a table, rather than designed for consumption within a vehicle or in transit. A limited service/fast casual restaurant may provide home delivery or customer pick-up services incidental to the primary food service on the premises.
SELF-STORAGE FACILITY. An interior loading facility used for the storage of personal property where individuals lease or otherwise control individual storage spaces.
SENIOR HOUSING FACILITY - DEPENDENT. A facility that provides daily assistance and long-term residence for disabled or elderly individuals. This includes a combination of housing, supportive services, personalized assistance, and health care designed to respond to the individual needs of those who need help with activities of daily living, such as dressing, grooming, bathing, etc. A "Senior Housing Facility – Dependent" shall not include a “Senior Housing Facility – Independent", "Community Residence" or "Skilled Nursing Facility"HomeFacility.
SENIOR HOUSING FACILITY- INDEPENDENT. A residential building containing multiple dwellings where the occupancy is limited to persons who are 62 years of age or older or, if two (2) or more persons occupy a unit, one (1) resident may be less than 62 years old. Such facilities shall include common areas for meals and socializing, offer minimal convenience services, but exclude institutional care such as medical or nursing care. “Senior Housing Facility – Independent” shall not include "Senior Housing Facility – Dependent”, “Community Residence” or “Skilled Nursing Facility" Home Facility.
SERVICE ORGANIZATION. A corporation or association organized for a social, educational or recreational purpose, to which membership is required for participation.
SETBACK. The minimum distance as set forth in this Appendix A establishing a required yard to separate a building or other structure from a street for motor vehicles, an access easement for motor vehicles or lot line. (See Section 3-2.1, "Diagrams", of this Article.)
SHORT TERM DWELLING RENTAL. A single room, dwelling, or portion of a dwelling offered or advertised for rent or other consideration for a period of less than sixty (60) consecutive days.
SKILLED NURSING FACILITY. A facility providing nursing and rehabilitation care and inpatient services on a twenty-four (24) hour per day basis for persons requiring regular medical attention. This definition excludes a facility providing surgical or emergency medical services, or a facility providing care for alcoholism, drug addiction, mental disease or communicable disease. A "Skilled NursingFacility Home" shall not include "Senior Housing Facility – Independent”, “Senior Housing Facility – Dependent”, "Community Residence" or "Hospital."
STABLE. A building for the shelter of horses, which is incidental to the primary residential use of the site.
STORY. That portion of a building, other than a basement, included between the top surface of any flooring and the top surface of the flooring above it or if there is no other flooring above it, then the space between the surface of the topmost flooring and the next ceiling above such surface. Habitable attics shall be considered a one-half (1/2) story. (See Section 3-2.1, "Diagrams", of this Article.)
STREET. Any vehicular way that: 1) is an existing State, County or Municipal roadway; or 2) is shown on a plat approved pursuant to law; or 3) is approved by official action for other uses such as private ingress, egress or easement. Unless otherwise indicated, the term street shall refer to both public and private streets.
STRUCTURAL ALTERATIONS. Any change in the supporting members of a building, such as bearing walls, headers, columns, beams, joists or girders or any substantial change to the roof, floor or walls.
STRUCTURE. Except for lighting fixtures, anything that is constructed or erected, the use of which requires permanent location and affixing to on the ground.
TRANSITIONAL YARDS. The minimum land area, established by Code, to buffer residential districts from adjacent commercial or manufacturing uses. (See Section 3-3 of this Article.)
USE, PERMITTED. A use permitted in a district, upon satisfaction of the standards and requirements of this Appendix A, without the need for a public hearing before a board or commission.
USE, PRINCIPAL. The primary use of any lot or structure.
USE, PUBLIC. A use conducted by or a facility or structure owned or managed by a unit of government.
USE, SPECIAL. A use that is specifically set forth in this Appendix A, but not permitted without special administrative review, a public hearing and approval by the Village Board.
USE, TEMPORARY. The use of property for a limited period of time for a special event, sale, gathering or similar use.
VARIATION/VARIANCE/EXCEPTION. Any departure from the strict application of any provision of this Appendix A.
VETERINARY CLINIC. A place where animals are given medical or surgical treatment and are cared for or boarded during the time of such treatment. (See Section 3-3 of this Article.)
WAREHOUSE. Facilities characterized by extensive storage of materials and frequent loading and unloading activity, but not involved in manufacturing or production.
YARD. An open space at grade between a building and the lot lines on which the building is located. In measuring a yard for the purpose of determining the width of a side yard, the depth of a front yard or the depth of a rear yard, the least horizontal distance between the lot line and the main building shall be used.
YARD, FRONT. A yard extending across the full width of the front of a lot, the depth of which is the minimum permissible horizontal distance between the public right-of-way for motor vehicles, the street line, or a private access easement for motor vehicles and the front of the main building as specified by this Appendix A for that zoning district.
YARD, REAR. A yard extending across the full width of the rear of a lot, the depth of which is the minimum horizontal distance between the rear lot line and the rear of the main building as specified by this Appendix A for that zoning district. On corner lots the rear yard shall be considered as parallel to the street upon which the lot has its least dimension. On both corner lots and interior lots the rear yard shall in all cases be at the opposite end of the lot from the front yard.
YARD, SIDE. A yard extending across the side of a lot, from the front lot line to the rear lot line, which is the minimum horizontal distance between the side lot line and the side of the main building excluding steps, unenclosed balconies or unenclosed porches as specified by this Appendix A for that zoning district.
ZONING MAP. A map adopted by the Village that delineates the extent of each district or zone.
ZONING ORDINANCE. An ordinance enacted by the Village Board that sets forth regulations and standards relating to the nature and extent of uses of land and structures. (Ord. 03-1155, 3-18-2003; amd. Ord. 05-1231, 2-15-2005; Ord. 06-1312, 12-5-2006; Ord. 13-1546, 3-19-2013; Ord. 14-1592, 6-17-2014; Ord. 19-1737, 1-15-2019; Ord. 19-1738, 2-19-2019, Ord #23-1835)
(Ord. 03-1155, 3-18-2003)