64 - PARKING AND ACCESS STANDARDS
The purpose of this chapter is to ensure that adequate off-street parking is provided for the various land uses in San Clemente, to minimize traffic congestion associated with the layout of parking facilities and the access to uses, to provide safe access to all land uses, and to ensure that parking facilities are as compatible as possible with surrounding land uses.
(Ord. 1172 § 3 (part), 1996)
A.
All Approved Land Uses. .....All approved land uses in San Clemente shall provide parking as required by this chapter.
B.
Review of Parking Areas. .....The plans of any new parking area or existing parking area which is being resurfaced, restriped or reconfigured shall be submitted to the Community Development Department for review for compliance with this chapter. This review may take place as part of a discretionary application, when one is required. The plans shall show clearly and indicate the proposed development and its dimensions, including the location, size, shape, design, curb cuts, lighting, landscaping, line painting, bumper stops, and other features and appurtenances of the proposed or revised parking area.
(Ord. 1172 § 3 (part), 1996)
A.
Location of Parking in Relationship to a Use. .....Parking required for all residential uses shall be located within the same project site as the use; in no case shall parking for a residential use be more than 300 feet away from the residential use it serves. All other required parking shall be located either on site or within 300 feet away from the residential use it serves. All other required parking shall be located either on site or within 300 feet of the of the use for which the parking is required, as provided for in Section 17.64.110, Off-Site Parking, of this chapter.
B.
Distance of Off-Site Parking. .....The distance between a use and off-site parking shall be measured from the nearest point of the parking facility to the nearest point of the portion of the building or structure the parking is required to serve.
C.
Location of Residential Parking, Permitted. .....Vehicles on private property used for residential purposes shall be parked only in paved parking spaces or in driveways which comply with the following standards:
1.
The driveway provides access to required parking spaces; and
2.
The vehicle is not blocking access to parking for other residential units.
Driveway parking cannot count toward the required off-street parking for residential units, except in the case of tandem parking, as provided for in Table 17.64.050, Number of Parking Spaces Required, of this title.
D.
Location of Parking in Mixed Use Zones for Nonresidential and Mixed-Use Projects. In Mixed-Use Zones, parking for commercial and mixed-use projects shall be located behind buildings or to the side of buildings when parking behind buildings is impossible. For specific requirements regarding the location of parking, please refer to Section 17.40.030.A.2, Special Use Regulations and Section 17.56.030, Central Business (-CB) Overlay District, of this title, along with the San Clemente General Plan and Urban Design Guidelines. Exceptions to parking location requirements may be granted pursuant to Section 17.40.050(C)(f), Miscellaneous Parking Requirements for Existing Development being converted to a Mixed-use Project, of this code.
(Ord. 1252 § 14, 2001; Ord. 1172 § 3 (part), 1996)
(Ord. No. 1652, § 4, 5-15-2018)
A.
Standard Parking Spaces. .....The number of parking spaces required for various land uses shall be as required in Table 17.64.050, Number of Parking Spaces Required. Parking spaces shall be designed as required in Section 17.64.060, Design Standards for Off-Street Parking Facilities, of this chapter.
B.
Disabled Accessible Parking Spaces. .....Disabled accessible parking spaces shall be provided for uses as required by Title 24 of the California Code of Regulations and they shall be designed as required by Section 17.64.070, Disabled Accessible Parking Spaces, of this chapter. The Americans With Disabilities Act also contains requirements for disabled-accessible parking spaces, although the City is not responsible for the enforcement of these requirements.
C.
Bicycle and Carpool Vehicle Parking Facilities for Employment Centers. .....Bicycle and carpool vehicle parking facilities shall be provided for new employment centers other than residential developments, as required by Chapter 17.76, Trip Reduction and Travel Demand Management, of this title.
D.
Over-Sized Vehicle Parking Spaces. .....Over-sized vehicle parking spaces shall comply with the design standards in Section 17.64.080, Oversized-Vehicle Parking, of this title.
(Ord. 1172 § 3 (part), 1996)
A.
Enforcement and Interpretation of Parking Requirements.
1.
Number of Off-Street Parking Spaces Required. The number of off-street parking spaces required for the land uses identified in the Permitted and Conditional Use Tables of this title are listed in Table 17.64.050, Number of Parking Spaces Required, except where parking requirements are established in Chapter 17.28, Special Uses, or exceptions to these requirements are granted in accordance with Section 17.64.125, Waivers of Parking Requirements, in this chapter.
2.
Uses Not Listed. When parking requirements for land uses are not specifically listed in this section or in Chapter 17.28, Special Uses, the parking requirements shall be those required for the most similar use. The most similar use shall be determined by the City Planner as provided for in Section 17.04.040, Interpretations, subject to the concurrent review and appeal provisions contained in Section 17.12.090, Consideration of Concurrent Applications, and Section 17.12.140, Appeals of an Action, of this title.
3.
New Buildings Without Tenants. If the type of tenants that will occupy a nonresidential building, or the nonresidential portion of a mixed-use building, is not known at the time the new building is being proposed, the number of parking spaces required for the nonresidential uses will be determined through the discretionary review process. Through the discretionary review process, conditions may be placed on the type of future tenant allowed to ensure the parking provided for the project will be adequate.
4.
Mixed-Use Sites. When several uses/businesses occupy a single structure or parcel, the total parking required shall be the sum of the requirements for each individual use, except as otherwise provided in Subsection (A)(5), Mixed-Function Uses, below, and Section 17.64.120, Shared Parking, in this chapter.
5.
Mixed-Function Uses. When a building or tenant space is occupied by a single use, but the use contains several functions, such as sales, office and storage, parking spaces shall be provided based on the gross floor area of occupied tenant space(s), as required in Table 17.64.050, Number of Parking Spaces Required. Exceptions: Exceptions to this requirement may be granted by the City Planner for buildings or tenant spaces which meet one of the following criteria:
a.
One of the functions is a restaurant.
b.
Each function generates significant parking demand so parking requirements should be applied to each function individually.
6.
Alterations of Use.
a.
For changes of use when the required number of parking spaces is not provided. refer to Chapter 17.72.060.C.2, Changes of Use, of this Title.
b.
Parking spaces are waived per Section 17.64.125, Waivers of Parking Requirements.
c.
Uses are proposed in Mixed Use Zoning districts within the Central Business Overlay, the number of off-street parking spaces shall be provided for an alteration of use or addition of square footage based on the net increase in parking spaces required for the alteration or addition of square footage. For example, if an existing retail establishment currently requiring four parking spaces wishes to convert to a restaurant requiring seven parking spaces, the net increase in parking requirements is three spaces. To be permitted by the City, the restaurant in this example would have to be able to cover the net increase of three parking spaces.
7.
Rounding of Numbers. When the required number of parking spaces is other than a whole number, the total number of spaces shall be rounded up to the nearest whole number, unless otherwise provided for in this title. Exceptions in this title include provisions: 1) for mixed-use projects on lots of 6,000 square feet or smaller and requiring less than 5 parking spaces, Section 17.40.050(C)(1)(d), Total Parking Space Requirement for Mixed-use Projects on Lots 6,000 square feet or smaller, of this title; and 2) for three or more dwelling units on a single lot in Table 17.64.050, Number of Parking Spaces Required, of this title.
8.
More than One Parking Ratio. Where more than one parking ratio is shown for a particular use, the required number of spaces shall be the total of all ratios shown. For instance, the parking requirement for bed and breakfast inns is "1 per unit, 2 for the owner's unit." The total parking requirement for a bed and breakfast inn is the sum of the required parking for the units and two spaces for the owner's unit.
B.
Number of Parking Spaces Required. .....The number of off-street parking spaces required for various land uses shall be as listed in Table 17.64.050, Number of Parking Spaces Required, except for those listed in Chapter 17.28, Special Uses. Unless otherwise indicated, the parking requirements are for square feet of gross floor area occupied by the use and, in the case of nonresidential uses, include the parking required for customers and employees. Exception: Where a portion of a structure is used for automobile parking, that portion shall not be counted in calculating the required parking for the structure. If parking is eliminated and the space is occupied by another use, parking shall be required for the use as indicated for the use in this chapter.
Table 17.64.050 - Number of Parking Spaces Required
(Ord. 1252 §§ 14—16, 2001; Ord. 1190 §§ 12—14, 1997; Ord. 1182 § 16, 1997; Ord. 1172 § 3 (part), 1996; Ord. No. 1524, § 9, 12-7-2010; Ord. No. 1548, § 3(Exh. C, § 13), 3-6-2012; Ord. No. 1561, § 3(Exh. A, §§ 24—26), 11-27-2012)
(Ord. No. 1575, § 3(Exh. A, § 12), 12-3-2013; Ord. No. 1622, § 11, 5-17-2016; Ord. No. 1652, § 4, 5-15-2018; Ord. No. 1668, § 2, 3-5-2019; Ord. No. 1707, § 3, 2-2-2021)
According to requirements in this section and the City Engineering Division's technical standards, parking design standards are as follows, except as otherwise provided for in Section 17.64.125, Waivers of Parking Requirements, or Section 17.64.070, Disabled Accessible Parking Spaces.
A.
Parking Space Size.
1.
Garages or carports that contain four or fewer parking spaces. Parking spaces shall be a minimum of nine feet wide and minimum length of 19 feet in residential garages or carports that contain four or fewer parking spaces and do not include circulation elements such as driveway aisles, but consists primarily of parking spaces.
2.
Other garages. Please refer to the City of San Clemente Engineering Division's Technical Standards for parking space size requirements for all other parking spaces.
B.
Parking Setbacks. .....All parking spaces, whether covered or required or otherwise, shall be subject to the setback restrictions for accessory buildings in the zone in which the parking area is located, except for the following exceptions in residential zones:
1.
Setback for Street-Facing Garages or Carports. The minimum setback for a street-facing garage or carport shall be 20 feet, when standard garage doors are provided, and 18 feet, when roll-up garage doors are provided. In zones where the minimum setback for a street-facing garage or carport listed is greater than 18 feet or 20 feet, the more restrictive requirement shall apply. This requirement shall only apply to garages where parking would be allowed in the driveway, in accordance with Section 17.64.030(C), Location of Residential Parking, Permitted, of this chapter.
2.
Vehicle Parking. In residential zones, vehicles may be parked in the front yard setback area in driveways, as provided for in Section 17.64.030(C), Location of Residential Parking, Permitted.
3.
Setback for Alley-Facing Garages, Carports, or Parking Spaces. When a detached garage or detached carport opens to an alley, or when parking spaces back into alleys, the setbacks shall conform the technical specifications approved by the City Engineer for parking spaces backing into alleys.
C.
Landscaping. .....Landscaping shall be provided for the following outdoor parking facilities—parking lots, all nonresidential parking areas, and outdoor residential parking areas of 10 or greater parking spaces—in compliance with the following standards:
1.
All landscaping with parking lots shall be located in planter areas which are bounded by concrete curbing. All required curbing for planter areas shall be at least six inches high and six inches wide.
2.
For limitations on the distance a vehicle may overhang a landscaped area, please refer to the City of San Clemente Engineering Division's Technical Standards.
3.
Excluding curbing, all required planter areas shall be at least four feet wide and at least 25 square feet in area. Each planter shall be supplied with appropriate irrigation.
4.
The landscaping plan for the parking lot shall include a minimum of one canopy tree for every five parking stalls in the parking lot.
5.
Landscaping shall not interfere with the vehicle line of sight while entering or exiting a parking structure.
6.
For nonresidential uses, if parking is between a building and the street, a minimum 10-foot landscaped setback area shall be required between the street and the parking area.
7.
Parking lots shall provide landscaped area in the interior of the parking lot as follows:
Table 17.64.060
Percent of Parking Area to be Landscaped
Landscaping provided in parking areas shall count toward the site landscaping requirements found in Chapter 17.68, Landscape Standards. For requirements for parking lots functioning as a single-use, please refer to Section 17.28.220, Parking Lots, of this title.
D.
Accessibility and Usability. .....All required off-street parking spaces shall be designed, located, constructed and maintained so as to be fully and independently usable and accessible for automobile parking purposes.
E.
Maintenance of Off-Street Parking Facilities.
1.
All parking areas shall be kept clean and free of dust, mud or trash; pavement and striping shall be maintained in a continuous State of good repair.
2.
No storage of dismantled or disabled vehicles is permitted in driveways or open parking areas, unless specifically permitted as a part of site approval.
(Ord. 1190 § 15, 1997; Ord. 1172 § 3 (part), 1996)
(Ord. No. 1575, § 3(Exh. A, § 13), 12-3-2013; Ord. No. 1707, § 3, 2-2-2021)
Disabled accessible parking spaces shall be provided as required by Title 24 of the California State Building Standards Code. Such spaces shall be identified as required below:
A.
By posting a sign depicting profile view of a wheelchair with an occupant in white on a blue background; and
B.
By outlining or painting the stall of space in blue and outlining on the ground in the stall or space in white or suitable contrasting color a profile view depicting a wheelchair with an occupant.
It shall be unlawful for any person having control over an off-street parking facility containing spaces or stalls reserved for the physically handicapped to fail to maintain either sign required by subsection (A) of this section such that the sign(s) cease to clearly and conspicuously provide notice that the stall or space is reserved for physically handicapped persons.
The Americans with Disabilities Act (ADA) also contains parking regulations. For information regarding these standards, please refer to the City's Building Division.
(Ord. 1172 § 3 (part), 1996; Ord. No. 1664, § 45, 9-18-2018)
A.
Purpose and Intent. .....The parking restrictions set forth in this section are designed to provide for parking for boats, trailers, and oversized vehicles to improve the appearance and aesthetic values of the City's residential areas and residentially developed properties, and to further eliminate or prevent the occurrence of potential traffic hazards.
B.
Applicability. .....This section shall apply to the parking of all boats, trailers, and oversized vehicles on all residentially zoned and residentially developed properties. With the exception of Subsection (E), Partial-Screening Required, Subsection (F), Parking Space Surfacing and Maintenance, and Subsection (G)(3), Modifications to the Minimum Height for Partial Screening, this section shall become operative on January 14, 2000. Subsection (F), Parking Space Surfacing and Maintenance, shall become operative on January 14, 2001. Subsection (E), Partial-Screening Required, and Subsection (G)(3), Modifications to the Minimum Height for Partial-Screening, shall become operative on January 14, 2003.
C.
Setbacks.
1.
Standard. All boats, trailers, and oversized vehicles parked on residentially zoned or residentially developed property, including oversized vehicles parked in driveways, shall be parked a minimum of 20 feet from the back of any curb or, if no curb exists, from the edge of any improved street.
2.
Exceptions: This 20-foot setback shall not apply when:
a.
The boat, trailer, or oversized vehicle is parked in any area within a garage or carport or within a legal enclosure or behind a fence or wall which totally shields such boat, trailer, or oversized vehicle from view from the adjacent street; or
b.
The oversized vehicle is required for the daily use of an individual who is disabled, in accordance with Subsection (G)(1) of this section; or
c.
The boat, trailer, or oversized vehicle is parked for temporary loading and unloading, in accordance with Subsection (G)(2) of this section.
D.
Parking in Driveways. .....The only oversized vehicles that shall be allowed to be parked in required driveways shall be oversized vehicles that are self-powered and operable. Boats and trailers shall not be parked in required driveways. For the purposes of this section, the required driveway is that portion of the driveway determined to be required to provide access to the garage, carport, or other legally required off-street parking area for vehicles on the property, pursuant to the City's driveway standards on file in the Office of the City Engineer.
E.
Partial-Screening Required.
1.
Purpose and Intent. The purpose and intent of this section is to address the potential aesthetic impacts of boats, trailers, and oversized vehicles that are parked outside the required driveway and that are visible from the street. The regulations in this subsection are meant to result in fences, walls, and hedges that partially block the view of boats, trailers, and oversized vehicles from vantage points along street-side property lines of the property on which the boat, trailer, or oversized vehicle is parked. The intent of this subsection is to require partial, and not full screening, from both vertical and horizontal perspectives of the boat, trailer, or oversized vehicle. The screening required by this section is partial from a vertical perspective, because most boats, trailers, and oversized vehicles exceed the maximum height of the fence, wall or hedge required in this subsection. The screening required by this subsection is partial from a horizontal perspective because: (1) this subsection requires screening from views along the street-side property line of the subject property, not along the entire street; and (2) this subsection does not require that fences, walls, or hedges be 100 percent opaque. The City recognizes the desirability, for aesthetic purposes, of allowing a variety of opaqueness and materials to be used to satisfy the fence, wall, and hedge requirements.
2.
Standards. All boats, trailers, and oversized vehicles shall be partially screened by fences, walls, or hedges which comply with City standards, Section 17.24.090, Fences, Walls, and Hedges, and meet the following standards:
a.
Height. Fences, walls, and hedges provided for partial screening shall be six feet in height, unless granted an exception by the Community Development Director, as provided for in Subsection (G)(3) of this section.
b.
Location. The fence, wall, or hedge shall be located between any visible portion of the boat, trailer, or oversized vehicle and the entire length of any street-side property line of the property on which the boat, trailer, or oversized vehicle is located.
c.
Opaqueness. Fences, walls, or hedges must be at least 50 percent opaque, as viewed from a line perpendicular to the fence, wall, or hedge. Open fencing, such as wrought iron, may be used for partial screening, if combined with other materials or plantings to achieve at least 50 percent opacity.
3.
Exceptions. The requirements of this subsection shall not apply when:
a.
The boat, trailer, or oversized vehicle is parked in any area within a garage or carport or within a legal enclosure or behind a fence or wall which totally shields such boat, trailer, or oversized vehicle from view from the adjacent street; or
b.
The oversized vehicle is located entirely on the required driveway, in accordance with Subsection D of this section. When an oversized vehicle is located partially on the required driveway, the entire oversized vehicle shall be partially screened in accordance with the provisions of this subsection; or
c.
The oversized vehicle is required for the daily use of an individual who is disabled, in accordance with Subsection (G)(1) of this section;
d.
The boat, trailer, or oversized vehicle is parked for temporary loading and unloading, in accordance with Subsection (G)(2) of this section.
F.
Parking Space Surfacing and Maintenance. .....All parking spaces for boats, trailers, and oversized vehicles, shall be:
1.
Covered with an all-weather surface, as deemed appropriate by the City Planner; and
2.
Kept clean and free of dust, mud, and trash. Surfacing shall be maintained in a continuous state of good repair, as determined by the City Planner.
G.
Exceptions.
1.
Vehicles for the Disabled. Vehicles displaying license plates or placards issued pursuant to Vehicle Code Section 5007, 22511.55 or 22511.59 shall be exempt from the setback and partial-screening provisions of this Section (Subsections (C) and (E)). The requirements contained in subsections C and E shall not be applicable to any vehicles which meet both of the following requirements:
a.
The vehicle is properly displaying a disabled persons special identification license plate issued under Vehicle Code Sections 5007, 22511.55 or 22511.59; and
b.
The owner has filed with the City Clerk of the City of San Clemente written authorization from a duly licensed medical doctor noting that the oversized vehicle is reasonably necessary to accommodate the individual's daily needs.
2.
Temporary Parking for Loading and Unloading. Boats, trailers, and oversized vehicles parked in a driveway for the purpose of loading and unloading shall be exempt from the setback requirements (Subsection (C)) and partial screening requirements (Subsection (E)) of this section for a maximum of six round-trips per calendar year. It is the intent of this subsection that the provisions for loading and unloading be granted solely for boats, trailers, and oversized vehicles, owned or rented by the residents of the property on which the boat, trailer, or oversized vehicle, is being parked. For the purpose of this section, a round-trip shall mean one 48-hour period for the loading of the boat, trailer, or oversized vehicle, and one 48-hour period for the unloading of the boat, trailer, or oversized vehicle. With the exception of RV Parking Extension Roundtrips allowed in Section 10.28.230 of the Municipal Code, no two round-trips shall be allowed within a three-day period. At the expiration of each 48-hour period, the boat, trailer, or oversized vehicle, shall be moved to a location that complies with all the provisions of this section.
3.
Modifications to the Minimum Height for Partial Screening. The minimum fence, wall, or hedge height for partial screening may be reduced to 42 inches with the approval of the Community Development Director, if the Community Development Director determines that all of the following conditions are met:
a.
The boat, trailer, or oversized vehicle is located on an area of the lot which does not permit fences over 42 inches in height, in accordance with the height limits for fences, walls, and hedges found in Section 17.24.090(B), Standards; and
b.
Location of the boat, trailer, or oversized vehicle to an area of the lot which would allow partial-screening that is six feet tall would be impractical or economically infeasible, that is, it would impose costs on the applicant which are excessive in light of the purchase costs of the boat, trailer, or oversized vehicle; and
c.
The applicant's inability to satisfy the minimum height requirements for partial screening is not the result of the applicant maintaining his or her property in a manner which renders it impossible to satisfy the requirements of this section.
(Ord. 1235 § 3, 1999: Ord. 1172 § 3 (part), 1996)
Duplexes which meet parking requirements with tandem parking spaces shall comply with the following requirements:
A.
Curb Break. No greater than a 16-foot curb break shall be provided. Any deviation from this width shall be subject to a minor exception permit, in accordance with Section 17.16.090, Minor Exception Permits, of this title, with concurrent approval from the City Engineer.
B.
Garage Size, Minimum. A minimum two-car garage not less than 18 by 38 feet shall be provided.
C.
Setbacks for Parking.
1.
Setback for Uncovered Parking. All uncovered parking spaces shall meet a minimum front yard setback of 18 feet.
2.
Setback for All Covered Parking. All covered parking shall comply with the setbacks for street-facing garages and/or carports listed in Section 17.64.060(B), Parking Setbacks, of this title.
(Ord. 1304 § 31, 2005; Ord. 1172 § 3 (part), 1996)
A.
Sale of In-Lieu Certificates. .....The City Council may authorize the sale of in-lieu certificates for off-street parking to owners of the property who make the showing required under Subsection (B), Required Showing, of this section. The City Council shall adopt a resolution or resolutions creating in-lieu parking districts within the City, setting forth both the boundaries of such districts and the applicable in-lieu fee within each district. Such fees shall be based upon the cost of providing the necessary parking facilities within the applicable district. The boundaries of each district and the fee for the in-lieu certificates therein may be adjusted from time to time as the City Council sees fit.
B.
Required Showing. .....The applicant shall show to the satisfaction of the City Council that the sale of in-lieu certificates is necessary because there is not available space to provide the requisite amount of off-street parking and the project cannot be reasonably redesigned to accommodate such parking without extreme hardship. The owner of the property for which the parking certificate(s) is approved shall be required to purchase and retain one certificate for each required parking space not provided in accordance with the minimum requirements of the San Clemente Zoning Ordinance. All certificates purchased shall run with the property and shall not be transferable to another property.
C.
Use of Funds. .....All moneys paid for certificates shall be deposited with the City and expenditures from the fund shall be used solely to purchase land and make improvements for public parking within the in-lieu district from which the money was obtained.
D.
Method of Sale. .....The City Council shall have the right to authorize the sale of in-lieu certificates subject to the following minimum requirements:
1.
Where four or fewer certificates are to be purchased, a minimum cash down payment equal to the value of one-half space shall be made, with the balance to be paid in equal monthly, quarterly or annual payments over a maximum period of five years;
2.
Where five or more spaces are to be purchased, a minimum cash down payment equal to the value of one space shall be made, with the balance to be paid in equal monthly, quarterly or annual payments over a maximum period of 10 years;
3.
The owner shall post a bond, a letter of credit, or a lien on the property for the balance of the certificates purchased as determined by the City;
4.
Interest shall accrue on the unpaid balance of the in-lieu parking fee at the rate of 10 percent per annum, which percentage may be adjusted by resolution of the City Council as necessary; or
5.
Commercial development purchasing five or more in-lieu certificates may pay for such certificates in 108 equal monthly installments at a one percent annum interest rate by entering into an agreement with the City. Owners shall enter into the agreement prior to the issuances of the Building Permit, or if no Building Permit is required, prior to the commencement of business at the proposed location. The obligation to pay shall commence on the first day of the month directly following the date the owner commences operations.
(Ord. 1172 § 3 (part), 1996)
Where permitted by this chapter, parking required for nonresidential uses may be provided off-site, within 1,000 feet of a use, through the execution of a legal document. The document shall comply with the following restrictions:
A.
The agreement shall restrict the use of the land on which the off-site parking is located for the duration of the use for which that parking is provided;
B.
The agreement shall be executed by the owner of the property on which the parking is located. Only the property owner may enter into these agreements; and
C.
The agreement shall be submitted for the review and approval of the City Attorney; and
D.
Following its approval of a Minor Conditional Use Permit pursuant to Section 17.16.070, the agreement shall be recorded by the applicant and a copy furnished to the Community Development Department when applying for a permit, for inclusion in any related discretionary application files and the Building Division address files.
(Ord. 1172 § 3 (part), 1996)
(Ord. No. 1759, § 3(Exh. A), 10-3-2023)
In all nonresidential and mixed-use zones, private parking facilities may be shared by multiple uses whose activities are not normally conducted during the same hours, or when hours of peak use vary. The applicant shall have the burden of proof for a reduction in the total number of required off-street parking spaces.
A.
Review Requirements.
1.
Existing Buildings with Change of Use [Except a Change to a Mixed Use (Residential/Commercial on the Same Site)]. Shared parking may be granted through the approval of a Minor Conditional Use Permit, in compliance with Section 17.16.070, Minor Conditional Use Permits.
2.
New Mixed Use (Residential/Commercial on Same Site) Buildings. Shared parking may be granted through the approval of a Minor Conditional Use Permit, in compliance with Section 17.16.070, Minor Conditional Use Permits.
3.
All Other Projects. Shared parking may be granted through the approval of a Conditional Use Permit, in compliance with Section 17.16.070, Minor Conditional Use Permits.
B.
Requirements.
1.
Evidence shall be submitted that demonstrates shared parking will not result in inadequate parking. Applicants shall submit a parking study that provides an analysis of available and used parking spaces based on parking counts taken at certain time intervals and days to verify parking usage patterns. The City Planner determines if parking studies are adequate and has the authority to decide which parking analysis methods and counting is necessary to verify parking patterns.
a.
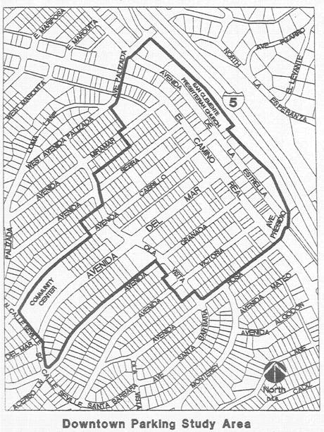
Downtown Parking Study Area. At a minimum, for shared parking in the Downtown Study Area, parking studies shall be conducted for two weeks with parking counts taken every hour on Thursday and Saturday each week.
2.
Shared parking facilities shall not be located further than 300 feet from any structure or use served. Exception: In the case of the Downtown Parking Study Area, this distance may be increased to 500 feet.
3.
Prior to the use being initiated, a written agreement shall be reviewed by the City Attorney and executed by the property owner to assure the continued availability of the shared parking spaces for the life of the development.
4.
In the case of mixed-use projects, any parking for the residential component of the project that exceeds the minimum of two per dwelling units may be considered for shared parking.
C.
Findings.
1.
Given the specific conditions of the site and the adjacent area, the shared parking arrangement will not result in inadequate parking; and
2.
The number of parking spaces required for the site, in accordance with Section 17.64.050(B), Number of Parking Spaces Required, is provided through the shared parking arrangement, based on varied hours of operation and/or combinations of peak and oft-peak uses. Exceptions: The following findings may be substituted for this finding in the specific situations described below:
a.
In the case of sites/projects that are already nonconforming as to the number of parking spaces provided, the following finding may be made:
The shared parking arrangement does not intensify the nonconformity, and/or any intensification can be accommodated because of varied hours of operation and/or combinations of peak and off-peak uses.
b.
In the case of the Downtown Parking Study Area, the following finding may be made:
The number of spaces to be shared has been demonstrated to be physically available (not occupied) for the proposed use(s), during the hours of operation of the proposed use(s).
(Ord. 1308 § 15, 2006; Ord. 1190 § 16, 1997: Ord. 1182 § 15, 1997; Ord. 1172 § 3 (part), 1996)
(Ord. No. 1594, § 3(Exh. A, § 39), 5-5-2015; Ord. No. 1759, § 3(Exh. A), 10-3-2023)
A.
The Downtown Parking Study Area.
1.
Purpose and Intent. The Parking Waiver Program for the Downtown Parking Study Area is designed to serve the unique characteristics of this area which influence parking demand. The Parking Study Area contains a significant number of public parking spaces which absorb the overflow parking from private parking lots and substitute for private parking. In addition, the existing mix of land uses is varied, with retail and office uses, public services, service-oriented businesses and some residential uses. The variety of land uses in the area, the incorporation of residential uses into commercial projects, the varied peak parking demand periods that they create, their proximity to one another, and the pedestrian-orientation of the area result in a shared or joint-use of the available public parking. All of these factors reduce the parking demand from that experienced by many types of commercial areas. A parking study completed in 1995, on which this program is partially based, confirmed the unique parking circumstances in the Downtown Parking Study Area.
The Parking Waiver Program was developed to address the reduced parking demand experienced within the study area. The program has been designed so that waivers are not automatic; rather, they require discretionary action on the part of the City. Waivers are to be granted based on the availability of public parking near the proposed project and on the project's contribution to the pedestrian atmosphere of the Downtown Parking Study Area. The availability of private parking near a project is not a basis for granting waivers. In the development of this program, the City recognizes that each block within the Parking Study Area is unique, with its own set of circumstances related to public parking availability, parking demand, pedestrian-orientation and mix of uses. These individual circumstances shall be taken into consideration when waivers requests are evaluated.
Property owners in the Downtown Parking Study Area (see Figure 17.64.125, Downtown Parking Study Area) may request waivers of their off-street parking requirement for nonresidential development in accordance with the provisions found in this section.
Figure 17.64.125
2.
Review Requirements.
a.
Waivers for Alterations of Use. Waivers of the parking requirements for alterations of use, except for outdoor dining, may be allowed by the following authorities, subject to the concurrent review provisions of Section 17.12.090, Consideration of Concurrent Applications, and the findings in Subsection (A)(3) of this section, through the indicated applications:
Table 17.64.125(A)
Review Requirements for
Waivers for Alterations of Use
b.
Waivers for Outdoor Dining, Additions and New Structures. The waiver of some or all parking requirements for outdoor dining, additions to existing structures, and new structures shall be reviewed by the approval body required to review other aspects of the outdoor dining facility, addition or new structure, in accordance with Chapter 17.16, Applications, of this title and subject to the findings of Subsection (A)(4) of this section. An application for a waiver shall be filed and processed in the following manner:
i.
When only ministerial, City Planner, or Community Development Director review of the project is required, the parking waiver shall be reviewed by the Community Development Director through the plan check process.
ii.
When Zoning Administrator review of the project is required, the applicant shall process and obtain a Minor Conditional Use Permit, in accordance with Section 17.16.070, Minor Conditional Use Permits, of this title, for the parking waiver request.
iii.
When Planning Commission review of the project is required, the applicant shall process and obtain a Conditional Use Permit, in accordance with Section 17.16.060, Conditional Use Permits, of this title, for the parking waiver request.
3.
Limitations on Waiver Requests.
a.
For the Downtown Parking Study Area. The City may approve up to 90 parking waivers in the Downtown Parking Study Area. Parking waivers may be granted for alterations of use and new nonresidential development. After 90 waivers have been granted, the City shall consider whether an additional parking study is necessary to assure that granting of an additional 90 waivers, for a total of 180, will not create inadequate parking in the study area. For the most recent count on parking waivers available, contact the Planning Division.
b.
For an Individual Project Site. The City may approve parking waivers for an individual project site, subject to the following limitations:
i.
No project site may be granted more than 10 parking space waivers.
ii.
The limitation on the total number of waivers which the City may grant to an individual project site is cumulative, beginning with the effective date of this amendment to the City's Zoning Ordinance.
iii.
Should the use or addition for which the parking waiver is granted be terminated or demolished, the parking waivers shall revert back to the City and shall be available for granting by the City to other projects.
iv.
Prior to the granting of any waivers, the findings outlined in Subsection (A)(4) shall be made.
4.
Findings. Prior to the administrative approval by the Community Development Director or approval of a Minor Conditional Use Permit or Conditional Use Permit for a waiver of parking requirements, all of the following findings shall be made in addition to any general findings required for the appropriate permit:
a.
No more than 180 parking space waivers have been granted in the Downtown Parking Study Area since the effective date of this amendment to the City's Zoning Ordinance;
b.
There is currently adequate parking to support the change of use and/or development and provide adequate beach parking within the study area;
c.
The City Council has approved an interim parking study for the Downtown Parking Study Area that shows the occupancy of the parking spaces in the study area is 90 percent or less during daylight hours, on summer weekends;
d.
Public parking is available in close proximity to the project site; and
e.
The project receiving waivers: 1) improves pedestrian access to and from alleys and streets within the Downtown Parking Study Area to the extent feasible and commensurate with the scale of the project; or 2) the project contains both nonresidential and residential uses and, therefore, promotes shared parking and pedestrian activity within the area.
B.
Outside the Downtown Parking Study Area. .....Waivers of the parking requirements for the uses contained in the following table may be approved, subject to the approval of the indicated permits:
(Ord. 1304 § 32, 2005; Ord. 1252 §§ 17 and 18, 2001; Ord. 1190 §§ 17, 18, 1997)
(Ord. No. 1594, § 3(Exh. A, § 40), 5-5-2015)
64 - PARKING AND ACCESS STANDARDS
The purpose of this chapter is to ensure that adequate off-street parking is provided for the various land uses in San Clemente, to minimize traffic congestion associated with the layout of parking facilities and the access to uses, to provide safe access to all land uses, and to ensure that parking facilities are as compatible as possible with surrounding land uses.
(Ord. 1172 § 3 (part), 1996)
A.
All Approved Land Uses. .....All approved land uses in San Clemente shall provide parking as required by this chapter.
B.
Review of Parking Areas. .....The plans of any new parking area or existing parking area which is being resurfaced, restriped or reconfigured shall be submitted to the Community Development Department for review for compliance with this chapter. This review may take place as part of a discretionary application, when one is required. The plans shall show clearly and indicate the proposed development and its dimensions, including the location, size, shape, design, curb cuts, lighting, landscaping, line painting, bumper stops, and other features and appurtenances of the proposed or revised parking area.
(Ord. 1172 § 3 (part), 1996)
A.
Location of Parking in Relationship to a Use. .....Parking required for all residential uses shall be located within the same project site as the use; in no case shall parking for a residential use be more than 300 feet away from the residential use it serves. All other required parking shall be located either on site or within 300 feet away from the residential use it serves. All other required parking shall be located either on site or within 300 feet of the of the use for which the parking is required, as provided for in Section 17.64.110, Off-Site Parking, of this chapter.
B.
Distance of Off-Site Parking. .....The distance between a use and off-site parking shall be measured from the nearest point of the parking facility to the nearest point of the portion of the building or structure the parking is required to serve.
C.
Location of Residential Parking, Permitted. .....Vehicles on private property used for residential purposes shall be parked only in paved parking spaces or in driveways which comply with the following standards:
1.
The driveway provides access to required parking spaces; and
2.
The vehicle is not blocking access to parking for other residential units.
Driveway parking cannot count toward the required off-street parking for residential units, except in the case of tandem parking, as provided for in Table 17.64.050, Number of Parking Spaces Required, of this title.
D.
Location of Parking in Mixed Use Zones for Nonresidential and Mixed-Use Projects. In Mixed-Use Zones, parking for commercial and mixed-use projects shall be located behind buildings or to the side of buildings when parking behind buildings is impossible. For specific requirements regarding the location of parking, please refer to Section 17.40.030.A.2, Special Use Regulations and Section 17.56.030, Central Business (-CB) Overlay District, of this title, along with the San Clemente General Plan and Urban Design Guidelines. Exceptions to parking location requirements may be granted pursuant to Section 17.40.050(C)(f), Miscellaneous Parking Requirements for Existing Development being converted to a Mixed-use Project, of this code.
(Ord. 1252 § 14, 2001; Ord. 1172 § 3 (part), 1996)
(Ord. No. 1652, § 4, 5-15-2018)
A.
Standard Parking Spaces. .....The number of parking spaces required for various land uses shall be as required in Table 17.64.050, Number of Parking Spaces Required. Parking spaces shall be designed as required in Section 17.64.060, Design Standards for Off-Street Parking Facilities, of this chapter.
B.
Disabled Accessible Parking Spaces. .....Disabled accessible parking spaces shall be provided for uses as required by Title 24 of the California Code of Regulations and they shall be designed as required by Section 17.64.070, Disabled Accessible Parking Spaces, of this chapter. The Americans With Disabilities Act also contains requirements for disabled-accessible parking spaces, although the City is not responsible for the enforcement of these requirements.
C.
Bicycle and Carpool Vehicle Parking Facilities for Employment Centers. .....Bicycle and carpool vehicle parking facilities shall be provided for new employment centers other than residential developments, as required by Chapter 17.76, Trip Reduction and Travel Demand Management, of this title.
D.
Over-Sized Vehicle Parking Spaces. .....Over-sized vehicle parking spaces shall comply with the design standards in Section 17.64.080, Oversized-Vehicle Parking, of this title.
(Ord. 1172 § 3 (part), 1996)
A.
Enforcement and Interpretation of Parking Requirements.
1.
Number of Off-Street Parking Spaces Required. The number of off-street parking spaces required for the land uses identified in the Permitted and Conditional Use Tables of this title are listed in Table 17.64.050, Number of Parking Spaces Required, except where parking requirements are established in Chapter 17.28, Special Uses, or exceptions to these requirements are granted in accordance with Section 17.64.125, Waivers of Parking Requirements, in this chapter.
2.
Uses Not Listed. When parking requirements for land uses are not specifically listed in this section or in Chapter 17.28, Special Uses, the parking requirements shall be those required for the most similar use. The most similar use shall be determined by the City Planner as provided for in Section 17.04.040, Interpretations, subject to the concurrent review and appeal provisions contained in Section 17.12.090, Consideration of Concurrent Applications, and Section 17.12.140, Appeals of an Action, of this title.
3.
New Buildings Without Tenants. If the type of tenants that will occupy a nonresidential building, or the nonresidential portion of a mixed-use building, is not known at the time the new building is being proposed, the number of parking spaces required for the nonresidential uses will be determined through the discretionary review process. Through the discretionary review process, conditions may be placed on the type of future tenant allowed to ensure the parking provided for the project will be adequate.
4.
Mixed-Use Sites. When several uses/businesses occupy a single structure or parcel, the total parking required shall be the sum of the requirements for each individual use, except as otherwise provided in Subsection (A)(5), Mixed-Function Uses, below, and Section 17.64.120, Shared Parking, in this chapter.
5.
Mixed-Function Uses. When a building or tenant space is occupied by a single use, but the use contains several functions, such as sales, office and storage, parking spaces shall be provided based on the gross floor area of occupied tenant space(s), as required in Table 17.64.050, Number of Parking Spaces Required. Exceptions: Exceptions to this requirement may be granted by the City Planner for buildings or tenant spaces which meet one of the following criteria:
a.
One of the functions is a restaurant.
b.
Each function generates significant parking demand so parking requirements should be applied to each function individually.
6.
Alterations of Use.
a.
For changes of use when the required number of parking spaces is not provided. refer to Chapter 17.72.060.C.2, Changes of Use, of this Title.
b.
Parking spaces are waived per Section 17.64.125, Waivers of Parking Requirements.
c.
Uses are proposed in Mixed Use Zoning districts within the Central Business Overlay, the number of off-street parking spaces shall be provided for an alteration of use or addition of square footage based on the net increase in parking spaces required for the alteration or addition of square footage. For example, if an existing retail establishment currently requiring four parking spaces wishes to convert to a restaurant requiring seven parking spaces, the net increase in parking requirements is three spaces. To be permitted by the City, the restaurant in this example would have to be able to cover the net increase of three parking spaces.
7.
Rounding of Numbers. When the required number of parking spaces is other than a whole number, the total number of spaces shall be rounded up to the nearest whole number, unless otherwise provided for in this title. Exceptions in this title include provisions: 1) for mixed-use projects on lots of 6,000 square feet or smaller and requiring less than 5 parking spaces, Section 17.40.050(C)(1)(d), Total Parking Space Requirement for Mixed-use Projects on Lots 6,000 square feet or smaller, of this title; and 2) for three or more dwelling units on a single lot in Table 17.64.050, Number of Parking Spaces Required, of this title.
8.
More than One Parking Ratio. Where more than one parking ratio is shown for a particular use, the required number of spaces shall be the total of all ratios shown. For instance, the parking requirement for bed and breakfast inns is "1 per unit, 2 for the owner's unit." The total parking requirement for a bed and breakfast inn is the sum of the required parking for the units and two spaces for the owner's unit.
B.
Number of Parking Spaces Required. .....The number of off-street parking spaces required for various land uses shall be as listed in Table 17.64.050, Number of Parking Spaces Required, except for those listed in Chapter 17.28, Special Uses. Unless otherwise indicated, the parking requirements are for square feet of gross floor area occupied by the use and, in the case of nonresidential uses, include the parking required for customers and employees. Exception: Where a portion of a structure is used for automobile parking, that portion shall not be counted in calculating the required parking for the structure. If parking is eliminated and the space is occupied by another use, parking shall be required for the use as indicated for the use in this chapter.
Table 17.64.050 - Number of Parking Spaces Required
(Ord. 1252 §§ 14—16, 2001; Ord. 1190 §§ 12—14, 1997; Ord. 1182 § 16, 1997; Ord. 1172 § 3 (part), 1996; Ord. No. 1524, § 9, 12-7-2010; Ord. No. 1548, § 3(Exh. C, § 13), 3-6-2012; Ord. No. 1561, § 3(Exh. A, §§ 24—26), 11-27-2012)
(Ord. No. 1575, § 3(Exh. A, § 12), 12-3-2013; Ord. No. 1622, § 11, 5-17-2016; Ord. No. 1652, § 4, 5-15-2018; Ord. No. 1668, § 2, 3-5-2019; Ord. No. 1707, § 3, 2-2-2021)
According to requirements in this section and the City Engineering Division's technical standards, parking design standards are as follows, except as otherwise provided for in Section 17.64.125, Waivers of Parking Requirements, or Section 17.64.070, Disabled Accessible Parking Spaces.
A.
Parking Space Size.
1.
Garages or carports that contain four or fewer parking spaces. Parking spaces shall be a minimum of nine feet wide and minimum length of 19 feet in residential garages or carports that contain four or fewer parking spaces and do not include circulation elements such as driveway aisles, but consists primarily of parking spaces.
2.
Other garages. Please refer to the City of San Clemente Engineering Division's Technical Standards for parking space size requirements for all other parking spaces.
B.
Parking Setbacks. .....All parking spaces, whether covered or required or otherwise, shall be subject to the setback restrictions for accessory buildings in the zone in which the parking area is located, except for the following exceptions in residential zones:
1.
Setback for Street-Facing Garages or Carports. The minimum setback for a street-facing garage or carport shall be 20 feet, when standard garage doors are provided, and 18 feet, when roll-up garage doors are provided. In zones where the minimum setback for a street-facing garage or carport listed is greater than 18 feet or 20 feet, the more restrictive requirement shall apply. This requirement shall only apply to garages where parking would be allowed in the driveway, in accordance with Section 17.64.030(C), Location of Residential Parking, Permitted, of this chapter.
2.
Vehicle Parking. In residential zones, vehicles may be parked in the front yard setback area in driveways, as provided for in Section 17.64.030(C), Location of Residential Parking, Permitted.
3.
Setback for Alley-Facing Garages, Carports, or Parking Spaces. When a detached garage or detached carport opens to an alley, or when parking spaces back into alleys, the setbacks shall conform the technical specifications approved by the City Engineer for parking spaces backing into alleys.
C.
Landscaping. .....Landscaping shall be provided for the following outdoor parking facilities—parking lots, all nonresidential parking areas, and outdoor residential parking areas of 10 or greater parking spaces—in compliance with the following standards:
1.
All landscaping with parking lots shall be located in planter areas which are bounded by concrete curbing. All required curbing for planter areas shall be at least six inches high and six inches wide.
2.
For limitations on the distance a vehicle may overhang a landscaped area, please refer to the City of San Clemente Engineering Division's Technical Standards.
3.
Excluding curbing, all required planter areas shall be at least four feet wide and at least 25 square feet in area. Each planter shall be supplied with appropriate irrigation.
4.
The landscaping plan for the parking lot shall include a minimum of one canopy tree for every five parking stalls in the parking lot.
5.
Landscaping shall not interfere with the vehicle line of sight while entering or exiting a parking structure.
6.
For nonresidential uses, if parking is between a building and the street, a minimum 10-foot landscaped setback area shall be required between the street and the parking area.
7.
Parking lots shall provide landscaped area in the interior of the parking lot as follows:
Table 17.64.060
Percent of Parking Area to be Landscaped
Landscaping provided in parking areas shall count toward the site landscaping requirements found in Chapter 17.68, Landscape Standards. For requirements for parking lots functioning as a single-use, please refer to Section 17.28.220, Parking Lots, of this title.
D.
Accessibility and Usability. .....All required off-street parking spaces shall be designed, located, constructed and maintained so as to be fully and independently usable and accessible for automobile parking purposes.
E.
Maintenance of Off-Street Parking Facilities.
1.
All parking areas shall be kept clean and free of dust, mud or trash; pavement and striping shall be maintained in a continuous State of good repair.
2.
No storage of dismantled or disabled vehicles is permitted in driveways or open parking areas, unless specifically permitted as a part of site approval.
(Ord. 1190 § 15, 1997; Ord. 1172 § 3 (part), 1996)
(Ord. No. 1575, § 3(Exh. A, § 13), 12-3-2013; Ord. No. 1707, § 3, 2-2-2021)
Disabled accessible parking spaces shall be provided as required by Title 24 of the California State Building Standards Code. Such spaces shall be identified as required below:
A.
By posting a sign depicting profile view of a wheelchair with an occupant in white on a blue background; and
B.
By outlining or painting the stall of space in blue and outlining on the ground in the stall or space in white or suitable contrasting color a profile view depicting a wheelchair with an occupant.
It shall be unlawful for any person having control over an off-street parking facility containing spaces or stalls reserved for the physically handicapped to fail to maintain either sign required by subsection (A) of this section such that the sign(s) cease to clearly and conspicuously provide notice that the stall or space is reserved for physically handicapped persons.
The Americans with Disabilities Act (ADA) also contains parking regulations. For information regarding these standards, please refer to the City's Building Division.
(Ord. 1172 § 3 (part), 1996; Ord. No. 1664, § 45, 9-18-2018)
A.
Purpose and Intent. .....The parking restrictions set forth in this section are designed to provide for parking for boats, trailers, and oversized vehicles to improve the appearance and aesthetic values of the City's residential areas and residentially developed properties, and to further eliminate or prevent the occurrence of potential traffic hazards.
B.
Applicability. .....This section shall apply to the parking of all boats, trailers, and oversized vehicles on all residentially zoned and residentially developed properties. With the exception of Subsection (E), Partial-Screening Required, Subsection (F), Parking Space Surfacing and Maintenance, and Subsection (G)(3), Modifications to the Minimum Height for Partial Screening, this section shall become operative on January 14, 2000. Subsection (F), Parking Space Surfacing and Maintenance, shall become operative on January 14, 2001. Subsection (E), Partial-Screening Required, and Subsection (G)(3), Modifications to the Minimum Height for Partial-Screening, shall become operative on January 14, 2003.
C.
Setbacks.
1.
Standard. All boats, trailers, and oversized vehicles parked on residentially zoned or residentially developed property, including oversized vehicles parked in driveways, shall be parked a minimum of 20 feet from the back of any curb or, if no curb exists, from the edge of any improved street.
2.
Exceptions: This 20-foot setback shall not apply when:
a.
The boat, trailer, or oversized vehicle is parked in any area within a garage or carport or within a legal enclosure or behind a fence or wall which totally shields such boat, trailer, or oversized vehicle from view from the adjacent street; or
b.
The oversized vehicle is required for the daily use of an individual who is disabled, in accordance with Subsection (G)(1) of this section; or
c.
The boat, trailer, or oversized vehicle is parked for temporary loading and unloading, in accordance with Subsection (G)(2) of this section.
D.
Parking in Driveways. .....The only oversized vehicles that shall be allowed to be parked in required driveways shall be oversized vehicles that are self-powered and operable. Boats and trailers shall not be parked in required driveways. For the purposes of this section, the required driveway is that portion of the driveway determined to be required to provide access to the garage, carport, or other legally required off-street parking area for vehicles on the property, pursuant to the City's driveway standards on file in the Office of the City Engineer.
E.
Partial-Screening Required.
1.
Purpose and Intent. The purpose and intent of this section is to address the potential aesthetic impacts of boats, trailers, and oversized vehicles that are parked outside the required driveway and that are visible from the street. The regulations in this subsection are meant to result in fences, walls, and hedges that partially block the view of boats, trailers, and oversized vehicles from vantage points along street-side property lines of the property on which the boat, trailer, or oversized vehicle is parked. The intent of this subsection is to require partial, and not full screening, from both vertical and horizontal perspectives of the boat, trailer, or oversized vehicle. The screening required by this section is partial from a vertical perspective, because most boats, trailers, and oversized vehicles exceed the maximum height of the fence, wall or hedge required in this subsection. The screening required by this subsection is partial from a horizontal perspective because: (1) this subsection requires screening from views along the street-side property line of the subject property, not along the entire street; and (2) this subsection does not require that fences, walls, or hedges be 100 percent opaque. The City recognizes the desirability, for aesthetic purposes, of allowing a variety of opaqueness and materials to be used to satisfy the fence, wall, and hedge requirements.
2.
Standards. All boats, trailers, and oversized vehicles shall be partially screened by fences, walls, or hedges which comply with City standards, Section 17.24.090, Fences, Walls, and Hedges, and meet the following standards:
a.
Height. Fences, walls, and hedges provided for partial screening shall be six feet in height, unless granted an exception by the Community Development Director, as provided for in Subsection (G)(3) of this section.
b.
Location. The fence, wall, or hedge shall be located between any visible portion of the boat, trailer, or oversized vehicle and the entire length of any street-side property line of the property on which the boat, trailer, or oversized vehicle is located.
c.
Opaqueness. Fences, walls, or hedges must be at least 50 percent opaque, as viewed from a line perpendicular to the fence, wall, or hedge. Open fencing, such as wrought iron, may be used for partial screening, if combined with other materials or plantings to achieve at least 50 percent opacity.
3.
Exceptions. The requirements of this subsection shall not apply when:
a.
The boat, trailer, or oversized vehicle is parked in any area within a garage or carport or within a legal enclosure or behind a fence or wall which totally shields such boat, trailer, or oversized vehicle from view from the adjacent street; or
b.
The oversized vehicle is located entirely on the required driveway, in accordance with Subsection D of this section. When an oversized vehicle is located partially on the required driveway, the entire oversized vehicle shall be partially screened in accordance with the provisions of this subsection; or
c.
The oversized vehicle is required for the daily use of an individual who is disabled, in accordance with Subsection (G)(1) of this section;
d.
The boat, trailer, or oversized vehicle is parked for temporary loading and unloading, in accordance with Subsection (G)(2) of this section.
F.
Parking Space Surfacing and Maintenance. .....All parking spaces for boats, trailers, and oversized vehicles, shall be:
1.
Covered with an all-weather surface, as deemed appropriate by the City Planner; and
2.
Kept clean and free of dust, mud, and trash. Surfacing shall be maintained in a continuous state of good repair, as determined by the City Planner.
G.
Exceptions.
1.
Vehicles for the Disabled. Vehicles displaying license plates or placards issued pursuant to Vehicle Code Section 5007, 22511.55 or 22511.59 shall be exempt from the setback and partial-screening provisions of this Section (Subsections (C) and (E)). The requirements contained in subsections C and E shall not be applicable to any vehicles which meet both of the following requirements:
a.
The vehicle is properly displaying a disabled persons special identification license plate issued under Vehicle Code Sections 5007, 22511.55 or 22511.59; and
b.
The owner has filed with the City Clerk of the City of San Clemente written authorization from a duly licensed medical doctor noting that the oversized vehicle is reasonably necessary to accommodate the individual's daily needs.
2.
Temporary Parking for Loading and Unloading. Boats, trailers, and oversized vehicles parked in a driveway for the purpose of loading and unloading shall be exempt from the setback requirements (Subsection (C)) and partial screening requirements (Subsection (E)) of this section for a maximum of six round-trips per calendar year. It is the intent of this subsection that the provisions for loading and unloading be granted solely for boats, trailers, and oversized vehicles, owned or rented by the residents of the property on which the boat, trailer, or oversized vehicle, is being parked. For the purpose of this section, a round-trip shall mean one 48-hour period for the loading of the boat, trailer, or oversized vehicle, and one 48-hour period for the unloading of the boat, trailer, or oversized vehicle. With the exception of RV Parking Extension Roundtrips allowed in Section 10.28.230 of the Municipal Code, no two round-trips shall be allowed within a three-day period. At the expiration of each 48-hour period, the boat, trailer, or oversized vehicle, shall be moved to a location that complies with all the provisions of this section.
3.
Modifications to the Minimum Height for Partial Screening. The minimum fence, wall, or hedge height for partial screening may be reduced to 42 inches with the approval of the Community Development Director, if the Community Development Director determines that all of the following conditions are met:
a.
The boat, trailer, or oversized vehicle is located on an area of the lot which does not permit fences over 42 inches in height, in accordance with the height limits for fences, walls, and hedges found in Section 17.24.090(B), Standards; and
b.
Location of the boat, trailer, or oversized vehicle to an area of the lot which would allow partial-screening that is six feet tall would be impractical or economically infeasible, that is, it would impose costs on the applicant which are excessive in light of the purchase costs of the boat, trailer, or oversized vehicle; and
c.
The applicant's inability to satisfy the minimum height requirements for partial screening is not the result of the applicant maintaining his or her property in a manner which renders it impossible to satisfy the requirements of this section.
(Ord. 1235 § 3, 1999: Ord. 1172 § 3 (part), 1996)
Duplexes which meet parking requirements with tandem parking spaces shall comply with the following requirements:
A.
Curb Break. No greater than a 16-foot curb break shall be provided. Any deviation from this width shall be subject to a minor exception permit, in accordance with Section 17.16.090, Minor Exception Permits, of this title, with concurrent approval from the City Engineer.
B.
Garage Size, Minimum. A minimum two-car garage not less than 18 by 38 feet shall be provided.
C.
Setbacks for Parking.
1.
Setback for Uncovered Parking. All uncovered parking spaces shall meet a minimum front yard setback of 18 feet.
2.
Setback for All Covered Parking. All covered parking shall comply with the setbacks for street-facing garages and/or carports listed in Section 17.64.060(B), Parking Setbacks, of this title.
(Ord. 1304 § 31, 2005; Ord. 1172 § 3 (part), 1996)
A.
Sale of In-Lieu Certificates. .....The City Council may authorize the sale of in-lieu certificates for off-street parking to owners of the property who make the showing required under Subsection (B), Required Showing, of this section. The City Council shall adopt a resolution or resolutions creating in-lieu parking districts within the City, setting forth both the boundaries of such districts and the applicable in-lieu fee within each district. Such fees shall be based upon the cost of providing the necessary parking facilities within the applicable district. The boundaries of each district and the fee for the in-lieu certificates therein may be adjusted from time to time as the City Council sees fit.
B.
Required Showing. .....The applicant shall show to the satisfaction of the City Council that the sale of in-lieu certificates is necessary because there is not available space to provide the requisite amount of off-street parking and the project cannot be reasonably redesigned to accommodate such parking without extreme hardship. The owner of the property for which the parking certificate(s) is approved shall be required to purchase and retain one certificate for each required parking space not provided in accordance with the minimum requirements of the San Clemente Zoning Ordinance. All certificates purchased shall run with the property and shall not be transferable to another property.
C.
Use of Funds. .....All moneys paid for certificates shall be deposited with the City and expenditures from the fund shall be used solely to purchase land and make improvements for public parking within the in-lieu district from which the money was obtained.
D.
Method of Sale. .....The City Council shall have the right to authorize the sale of in-lieu certificates subject to the following minimum requirements:
1.
Where four or fewer certificates are to be purchased, a minimum cash down payment equal to the value of one-half space shall be made, with the balance to be paid in equal monthly, quarterly or annual payments over a maximum period of five years;
2.
Where five or more spaces are to be purchased, a minimum cash down payment equal to the value of one space shall be made, with the balance to be paid in equal monthly, quarterly or annual payments over a maximum period of 10 years;
3.
The owner shall post a bond, a letter of credit, or a lien on the property for the balance of the certificates purchased as determined by the City;
4.
Interest shall accrue on the unpaid balance of the in-lieu parking fee at the rate of 10 percent per annum, which percentage may be adjusted by resolution of the City Council as necessary; or
5.
Commercial development purchasing five or more in-lieu certificates may pay for such certificates in 108 equal monthly installments at a one percent annum interest rate by entering into an agreement with the City. Owners shall enter into the agreement prior to the issuances of the Building Permit, or if no Building Permit is required, prior to the commencement of business at the proposed location. The obligation to pay shall commence on the first day of the month directly following the date the owner commences operations.
(Ord. 1172 § 3 (part), 1996)
Where permitted by this chapter, parking required for nonresidential uses may be provided off-site, within 1,000 feet of a use, through the execution of a legal document. The document shall comply with the following restrictions:
A.
The agreement shall restrict the use of the land on which the off-site parking is located for the duration of the use for which that parking is provided;
B.
The agreement shall be executed by the owner of the property on which the parking is located. Only the property owner may enter into these agreements; and
C.
The agreement shall be submitted for the review and approval of the City Attorney; and
D.
Following its approval of a Minor Conditional Use Permit pursuant to Section 17.16.070, the agreement shall be recorded by the applicant and a copy furnished to the Community Development Department when applying for a permit, for inclusion in any related discretionary application files and the Building Division address files.
(Ord. 1172 § 3 (part), 1996)
(Ord. No. 1759, § 3(Exh. A), 10-3-2023)
In all nonresidential and mixed-use zones, private parking facilities may be shared by multiple uses whose activities are not normally conducted during the same hours, or when hours of peak use vary. The applicant shall have the burden of proof for a reduction in the total number of required off-street parking spaces.
A.
Review Requirements.
1.
Existing Buildings with Change of Use [Except a Change to a Mixed Use (Residential/Commercial on the Same Site)]. Shared parking may be granted through the approval of a Minor Conditional Use Permit, in compliance with Section 17.16.070, Minor Conditional Use Permits.
2.
New Mixed Use (Residential/Commercial on Same Site) Buildings. Shared parking may be granted through the approval of a Minor Conditional Use Permit, in compliance with Section 17.16.070, Minor Conditional Use Permits.
3.
All Other Projects. Shared parking may be granted through the approval of a Conditional Use Permit, in compliance with Section 17.16.070, Minor Conditional Use Permits.
B.
Requirements.
1.
Evidence shall be submitted that demonstrates shared parking will not result in inadequate parking. Applicants shall submit a parking study that provides an analysis of available and used parking spaces based on parking counts taken at certain time intervals and days to verify parking usage patterns. The City Planner determines if parking studies are adequate and has the authority to decide which parking analysis methods and counting is necessary to verify parking patterns.
a.
Downtown Parking Study Area. At a minimum, for shared parking in the Downtown Study Area, parking studies shall be conducted for two weeks with parking counts taken every hour on Thursday and Saturday each week.
2.
Shared parking facilities shall not be located further than 300 feet from any structure or use served. Exception: In the case of the Downtown Parking Study Area, this distance may be increased to 500 feet.
3.
Prior to the use being initiated, a written agreement shall be reviewed by the City Attorney and executed by the property owner to assure the continued availability of the shared parking spaces for the life of the development.
4.
In the case of mixed-use projects, any parking for the residential component of the project that exceeds the minimum of two per dwelling units may be considered for shared parking.
C.
Findings.
1.
Given the specific conditions of the site and the adjacent area, the shared parking arrangement will not result in inadequate parking; and
2.
The number of parking spaces required for the site, in accordance with Section 17.64.050(B), Number of Parking Spaces Required, is provided through the shared parking arrangement, based on varied hours of operation and/or combinations of peak and oft-peak uses. Exceptions: The following findings may be substituted for this finding in the specific situations described below:
a.
In the case of sites/projects that are already nonconforming as to the number of parking spaces provided, the following finding may be made:
The shared parking arrangement does not intensify the nonconformity, and/or any intensification can be accommodated because of varied hours of operation and/or combinations of peak and off-peak uses.
b.
In the case of the Downtown Parking Study Area, the following finding may be made:
The number of spaces to be shared has been demonstrated to be physically available (not occupied) for the proposed use(s), during the hours of operation of the proposed use(s).
(Ord. 1308 § 15, 2006; Ord. 1190 § 16, 1997: Ord. 1182 § 15, 1997; Ord. 1172 § 3 (part), 1996)
(Ord. No. 1594, § 3(Exh. A, § 39), 5-5-2015; Ord. No. 1759, § 3(Exh. A), 10-3-2023)
A.
The Downtown Parking Study Area.
1.
Purpose and Intent. The Parking Waiver Program for the Downtown Parking Study Area is designed to serve the unique characteristics of this area which influence parking demand. The Parking Study Area contains a significant number of public parking spaces which absorb the overflow parking from private parking lots and substitute for private parking. In addition, the existing mix of land uses is varied, with retail and office uses, public services, service-oriented businesses and some residential uses. The variety of land uses in the area, the incorporation of residential uses into commercial projects, the varied peak parking demand periods that they create, their proximity to one another, and the pedestrian-orientation of the area result in a shared or joint-use of the available public parking. All of these factors reduce the parking demand from that experienced by many types of commercial areas. A parking study completed in 1995, on which this program is partially based, confirmed the unique parking circumstances in the Downtown Parking Study Area.
The Parking Waiver Program was developed to address the reduced parking demand experienced within the study area. The program has been designed so that waivers are not automatic; rather, they require discretionary action on the part of the City. Waivers are to be granted based on the availability of public parking near the proposed project and on the project's contribution to the pedestrian atmosphere of the Downtown Parking Study Area. The availability of private parking near a project is not a basis for granting waivers. In the development of this program, the City recognizes that each block within the Parking Study Area is unique, with its own set of circumstances related to public parking availability, parking demand, pedestrian-orientation and mix of uses. These individual circumstances shall be taken into consideration when waivers requests are evaluated.
Property owners in the Downtown Parking Study Area (see Figure 17.64.125, Downtown Parking Study Area) may request waivers of their off-street parking requirement for nonresidential development in accordance with the provisions found in this section.
Figure 17.64.125
2.
Review Requirements.
a.
Waivers for Alterations of Use. Waivers of the parking requirements for alterations of use, except for outdoor dining, may be allowed by the following authorities, subject to the concurrent review provisions of Section 17.12.090, Consideration of Concurrent Applications, and the findings in Subsection (A)(3) of this section, through the indicated applications:
Table 17.64.125(A)
Review Requirements for
Waivers for Alterations of Use
b.
Waivers for Outdoor Dining, Additions and New Structures. The waiver of some or all parking requirements for outdoor dining, additions to existing structures, and new structures shall be reviewed by the approval body required to review other aspects of the outdoor dining facility, addition or new structure, in accordance with Chapter 17.16, Applications, of this title and subject to the findings of Subsection (A)(4) of this section. An application for a waiver shall be filed and processed in the following manner:
i.
When only ministerial, City Planner, or Community Development Director review of the project is required, the parking waiver shall be reviewed by the Community Development Director through the plan check process.
ii.
When Zoning Administrator review of the project is required, the applicant shall process and obtain a Minor Conditional Use Permit, in accordance with Section 17.16.070, Minor Conditional Use Permits, of this title, for the parking waiver request.
iii.
When Planning Commission review of the project is required, the applicant shall process and obtain a Conditional Use Permit, in accordance with Section 17.16.060, Conditional Use Permits, of this title, for the parking waiver request.
3.
Limitations on Waiver Requests.
a.
For the Downtown Parking Study Area. The City may approve up to 90 parking waivers in the Downtown Parking Study Area. Parking waivers may be granted for alterations of use and new nonresidential development. After 90 waivers have been granted, the City shall consider whether an additional parking study is necessary to assure that granting of an additional 90 waivers, for a total of 180, will not create inadequate parking in the study area. For the most recent count on parking waivers available, contact the Planning Division.
b.
For an Individual Project Site. The City may approve parking waivers for an individual project site, subject to the following limitations:
i.
No project site may be granted more than 10 parking space waivers.
ii.
The limitation on the total number of waivers which the City may grant to an individual project site is cumulative, beginning with the effective date of this amendment to the City's Zoning Ordinance.
iii.
Should the use or addition for which the parking waiver is granted be terminated or demolished, the parking waivers shall revert back to the City and shall be available for granting by the City to other projects.
iv.
Prior to the granting of any waivers, the findings outlined in Subsection (A)(4) shall be made.
4.
Findings. Prior to the administrative approval by the Community Development Director or approval of a Minor Conditional Use Permit or Conditional Use Permit for a waiver of parking requirements, all of the following findings shall be made in addition to any general findings required for the appropriate permit:
a.
No more than 180 parking space waivers have been granted in the Downtown Parking Study Area since the effective date of this amendment to the City's Zoning Ordinance;
b.
There is currently adequate parking to support the change of use and/or development and provide adequate beach parking within the study area;
c.
The City Council has approved an interim parking study for the Downtown Parking Study Area that shows the occupancy of the parking spaces in the study area is 90 percent or less during daylight hours, on summer weekends;
d.
Public parking is available in close proximity to the project site; and
e.
The project receiving waivers: 1) improves pedestrian access to and from alleys and streets within the Downtown Parking Study Area to the extent feasible and commensurate with the scale of the project; or 2) the project contains both nonresidential and residential uses and, therefore, promotes shared parking and pedestrian activity within the area.
B.
Outside the Downtown Parking Study Area. .....Waivers of the parking requirements for the uses contained in the following table may be approved, subject to the approval of the indicated permits:
(Ord. 1304 § 32, 2005; Ord. 1252 §§ 17 and 18, 2001; Ord. 1190 §§ 17, 18, 1997)
(Ord. No. 1594, § 3(Exh. A, § 40), 5-5-2015)