40 - Apple Valley Commercial Specific Plan Added by Ord. No. 420
A.
Specific Plan Area
The Apple Valley Commercial Specific Plan (Specific Plan) area is an approximately 30.19 acre site located in the Town of Apple Valley ("Town") in San Bernardino County, California, located north of Happy Trails Highway (SR-18), at the southeasterly corner of the intersection of Dale Evans Parkway and Thunderbird Road. The Specific Plan area is presented in Figure 1.
The land to the north of the Specific Plan area has a General Plan Land Use Designation of Estate Residential (R-E) and is zoned Estate Residential (R-E). The land to the south of the Specific Plan area has a General Plan Land Use Designation of Open Space and a zoning designation of Recreation Open Space (OS-R), and is developed with the Civic Center Park and Aquatics Center. The land to the west of the Specific Plan area has a General Plan Land Use Designation of General Commercial (C-G) and is zoned General Commercial (C-G). The land to the east of the Specific Plan area has a General Plan Land Use Designation of Estate Residential (R-E) and is zoned Estate Residential (R-E). A vacant area of land to the northeast of the Specific Plan Area has a General Plan Land Use Designation of Office-Professional (O-P) and is zoned Office-Professional (O-P).
B.
Purpose of the Specific Plan
A specific plan is a combination policy statement and implementation tool that can be used to address the unique needs of a particular area of a town, city or county. As a result, emphasis is on concrete standards and development criteria for use in the submission and review of subsequent development plans and permits. The California Government Code permits the use of specific plans to regulate site development, including permitted uses such as density, building size, and placement. Specific plans also govern the landscaping and roadways, as well as the provision of infrastructure and utilities. Since the development guidelines established in a Specific Plan focus on the unique needs of a specific area, specific plans allow for greater flexibility than is possible with conventional zoning.
The purpose of the Apple Valley Commercial Specific Plan (Specific Plan) is to assist in the development of the site in a manner that will benefit local shoppers, the general public, and the Town. The Specific Plan accomplishes these purposes by providing for the efficient use of land, ensuring compatibility between existing and proposed land uses, and establishing environmental and development standards and procedures to be met in development of the Specific Plan area. The customized development regulations contained in the Specific Plan address the unique characteristics of the site and surrounding properties, as well as the needs of the commercial land uses proposed for the site. These efforts are intended to foster greater economic development and design opportunities than could be achieved through the use of conventional zoning and development standards.
As used herein, the term "developer" shall mean the current fee title holder(s) within the Specific Plan area.
C.
Specific Plan Area Objectives
The objectives of the Specific Plan are as follows:
•
Provide development consistent with the General Plan, land uses, zoning ordinance and in conformance with municipal standards, codes and policies;
•
Maximize and broaden the Town's sales tax base by providing local and regional tax-generating uses;
•
Provide development that improves and maximizes economic viability of a vacant site by transitioning the Specific Plan area into a productive mix of commercial/retail uses;
•
To provide a retail development that meets the current unmet demand for goods and services from consumers residing in the trade area and future residential developments;
•
To provide a commercial retail shopping center that serves the local market area and beyond, and to attract new customers and retailers into the Town of Apple Valley;
•
To provide goods and services at a local site, thereby reducing the number of trips currently being made to shop for these same goods and services outside the Town of Apple Valley;
•
To expand and provide new retail options, with updated, modern and energy efficient buildings, in close proximity to local customers by providing daytime and nighttime shopping opportunities in a safe and secure environment;
•
Locate a commercial Specific Plan area along a Major Road as identified within the Circulation Element of the General Plan, maximizing access opportunities for the convenience of patrons;
•
To provide convenience-oriented retail sale of food, beverage, and related products and convenience-oriented services to the currently underserved area;
•
Create additional employment-generating opportunities for the town and surrounding area; and
•
Provide (where necessary) adequate infrastructure and public amenities.
D.
Authority
The Specific Plan has been prepared in accordance with Government Code Sections 65450 et seq. and 66450 et seq. and will constitute the zoning for the Specific Plan area. Land use standards and regulations contained within this document shall govern future development within the boundaries of this Specific Plan.
The Specific Plan provides a framework for development of the Specific Plan area. The Specific Plan provides guidance for the review of specific development proposals and is the Town's reference document for determining permitted uses, intensity of use, and development standards and requirements. The Specific Plan defines objectives, as well as regulations and requirements for development of the Specific Plan area.
E.
General Requirements
1.
General Plan Consistency
Implementation of the Specific Plan is intended to carry out the goals and policies contained in the Town of Apple Valley General Plan in an orderly and attractive fashion, and development within the Specific Plan area shall, therefore, be consistent with the provisions of the Apple Valley General Plan.
The Land Use Element of the General Plan currently designates the Specific Plan area as General Commercial (C-G). The C-G land use designation allows a broad range of retail uses, as well as office and service land uses to serve the needs of the Town's residents and businesses, in a shopping center setting. Commercial retail land uses allowed by the Specific Plan are considered to be consistent with the applicable General Plan goals and policies, and will specifically implement the following General Plan goals:
•
Goal 1: The Town shall respect its desert environment.
°
Policy 1.A: The Town will require low water use through drought tolerant and native desert plants for landscaping.
°
Policy 1.C: Natural drainage channels shall be designed with soft bottoms whenever possible.
•
Goal 2: A well planned, orderly development pattern that enhances community values, and assures development of adequate infrastructure.
°
Policy 2.B: All new development and redevelopment proposals shall be required to install all required infrastructure, including roadways and utilities, and shall have complied with requirements for public services prior to occupancy of the project.
°
Policy 2.C: The Town shall require quality design in all development and redevelopment proposals and shall encourage the enhancement of existing development.
•
Goal 3: Minimal impact to existing neighborhoods.
°
Policy 3.B: Specific Plans shall be required for development proposals that include one or more of the following: a) A combination of residential, recreational, commercial and/or industrial land use designation (except in the Mixed Use land use designation); or b) Variations from development standards in the applicable Zone.
•
Goal 6: Commercial development shall strengthen the local economy and enhance the quality of life.
°
Policy 6.A: Commercial development shall be permitted only in areas with provisions for adequate circulation, utilities, infrastructure and public services.
•
Program 6.A.1: Commercial development shall be focused on major roadways, the State Route 18 corridor, the High Desert Corridor, and Interstate 15 as shown on the Land Use Map.
•
Program 6.A.2 Commercial development projects will be required to extend adequate infrastructure, utilities and public services prior to occupancy.
°
Policy 6.B: The Town shall promote commercial and industrial development that are capable of strengthening the local economy and enhancing the quality of life of Town residents.
•
Program 6.B.1: The Development Code will maintain development standards and guidelines which encourage creative, high quality design of commercial projects.
•
Goal 8: Adequate public facilities to meet the needs of the Town's residents, businesses and visitors.
°
Policy 8.A: The Town shall coordinate with all public service providers to assure that adequate services are available to meet the demands of growth in Town.
2.
Relationship Between Specific Plan Development Standards/Criteria and the Town of Apple Valley Development Code
Development regulations and requirements contained in this document will supplement or replace those Town Development Code provisions that might otherwise apply to lands within the Specific Plan area. Any regulations or requirements not specifically covered herein shall be subject to the regulations and requirements of the Town Development Code, design guidelines and engineering standards and other applicable regulations, in addition to all applicable local, state and federal ordinances, laws or regulations.
If any provision of the Specific Plan conflicts with the regulations or requirements of the Town Development Code, the provisions of this document shall take precedence. The procedure for administration of the Specific Plan is set forth in Section 9.40.050.
3.
Conformance with Building Codes
All construction within the Specific Plan shall be in compliance with Title 8 of the Apple Valley Municipal Code.
4.
Provision of Infrastructure
Unless otherwise specifically approved as part of this Specific Plan, all off-site improvements under the control of the Town shall be subject to the Town regulations and requirements in effect at the time improvement plans are submitted. Other improvements not under the control of the Town (e.g., electricity, natural gas, telephone) shall be subject to the regulations and requirements of the responsible agency.
To ensure the cost-effective availability of current and adequate infrastructure and services during the development of the Specific Plan area, infrastructure plans may be modified during the engineering or permit submittal process by the Town Public Works Department/Town Engineer. This modification during the engineering or permit submittal process shall be ministerial, final and not subject to appeal and without the need to amend this Specific Plan.
5.
Severability
If any term, provision, condition, requirement, or portion thereof of this Specific Plan is for any reason held invalid, unenforceable, or unconstitutional, the remainder of this Specific Plan or the application of such term, provision, condition, requirement, or portion thereof to circumstances other than those in which it is held to be invalid, unenforceable, or unconstitutional, shall not be affected thereby; and each other term, provision, condition, requirement, or portion thereof shall be held valid and enforceable to the fullest extent permitted by law.
6.
Costs
The developer shall pay the costs of any code enforcement activities, including attorney's fees, resulting in the violation of any provisions of the Town Ordinances, including the Specific Plan. The developer shall be responsible for the entire cost to implement the Environmental Standards in accordance with Section 9.40.060 of this Specific Plan.
7.
Consent to Hold Harmless
The developer shall agree to defend, at its sole expense (with attorneys approved by the Town), hold harmless and indemnify the Town, its agents, officers and employees, against any action brought against the Town, its agents, officers or employees concerning the approval of this Specific Plan or the implementation or performance thereof, and from any judgment, court costs and attorney's fees which the Town, its agents, officers or employees may be required to pay as a result of such action. The Town may, at its sole discretion, participate in the defense of any such action, but such participation shall not relieve the developer of this obligation under this Section.
8.
Fees
All development under this Specific Plan will be required to pay all applicable fees at the time those applicable fees are due, including, but not limited to Development Traffic Impact Fees, Fire Fees, Drainage and School Impact Fees as established by Town Ordinance No. 294, and Park and Recreation Department Fees under the Quimby Ordinance.
In addition, should the Specific Plan area lie within any additional assessment or benefit district, the developer shall, prior to issuance of a building permit, make application for and pay for the reapportionment of the assessments or pay the unit fees in the benefit district unless said fees are deferred to building permit issuance.
All development under this Specific Plan is required to pay all applicable permit application and review fees, including but not limited to, building permits, grading permits, encroachment permits and other filing fees.
A.
Site Conditions and Existing Land Uses).
1.
Historical and Existing Land Uses
Historical Land Use
The Specific Plan area is currently vacant and undeveloped with structures, and is scattered with native vegetation including 22 Joshua Trees. The eastern edge of the original Apple Valley Airport (closed in 1972) was on the northernmost portion of the Specific Plan area.
Existing On-Site General Plan Land Use and Zoning
The Town of Apple Valley General Plan designated the Specific Plan area as General Commercial (C-G). The C-G land use designation allows a broad range of retail uses, as well as office and service land uses to serve the needs of the Town's residents and businesses, in a shopping center setting. General retail stores, including all types of consumer goods, furniture and appliance sales, auto repair and sales are permitted in this designation. Restaurants, both sit-down and fast food, gasoline service stations and general office (secondary to retail uses) are also permitted in this designation.
The zoning of the Specific Plan Area is General Commercial (C-G). This zone is intended for the development of a full range of retail stores, offices and personal and business services, including shopping centers along major roadways. Permitted uses include general commercial retail sales, grocery stores, restaurants and convenience stores, along with the sale of alcoholic beverages for off-site consumption. Conditionally permitted uses include minor automotive repair. A Special Use Permit is also required for drive-up or drive-through uses.
Surrounding Land Uses
The Specific Plan area is adjacent to an established single-family residential neighborhood that is located to the northeast and southeast of the subject site within the Estate Residential (R-E) zoning designation. The property to the south is within the Open Space Recreational (OS-R) zoning designation and is developed with the Civic Center Park and Aquatics Center. The zoning designation to the west, across Dale Evans Parkway, is General Commercial (C-G) and contains the Apple Valley Commons retail center, which includes a Super Target and other retailers, services and fast food restaurants. The former Lowe's Home Improvement center is located north of the Super Target. The Specific Plan area has approximately 1,850 feet of street frontage along Dale Evans Parkway.
B.
Existing Circulation
1.
Regional Circulation
Regional access to the Specific Plan area is provided by the Happy Trails Highway (State Route 18), which connects with the City of Victorville and the Lucerne Valley and Big Bear areas, and is currently a four-lane limited-access roadway that runs in a diagonal alignment (northwest to southeast) in the Specific Plan area vicinity.
2.
Local Circulation
Major roadways in and around the Specific Plan area, in addition to State Route 18, are Dale Evans Parkway and Thunderbird Road.
Dale Evans Parkway is a four-lane, generally north-south arterial roadway which terminates at Happy Trails Highway to the south of the Specific Plan area. To the north of Thunderbird Road, Dale Evans Parkway is a two-lane roadway with a center two-way left-turn lane, which serves residential areas. Dale Evans Parkway is designated as a Major Road within the Town of Apple Valley General Plan Circulation Element, with 104 feet of right-of-way between Happy Trails Highway and Thunderbird Road. It is also designated as a Local Truck Route between Happy Trails Highway and Waalew Road.
Thunderbird Road is an east-west roadway north of the Specific Plan area. It is currently an unimproved two-lane roadway, primarily serving residential areas. It is designated as a Major Road in the Town of Apple Valley General Plan Circulation Element, with 104 feet of right-of-way at buildout. It is also designated as a Local Truck Route between Dale Evans Parkway and Central Road.
3.
Public Transit
The Specific Plan area will include the construction of a bus stop, and will coordinate with local transit providers to ensure transit opportunities are provided to and from the Specific Plan area.
Victor Valley Transit Authority (VVTA) currently provides regular bus service along Happy Trails Highway (SR-18). VVTA's schedule currently indicates a regular stop to the north of the Specific Plan area at the intersection of Dale Evans Parkway and Thunderbird Road, as part of Fixed Route 40, with hourly stops from 6:18 a.m. through 8:18 p.m. Monday to Friday, and at 7:18 a.m. through 7:18 p.m. on Saturday. An additional bus stop is located to the south of the Project site at the intersection of Dale Evans Parkway and Outer Highway 18 as part of Fixed Route 41. This "timepoint," or major bus stop, occurs at hourly intervals between 6:08 a.m. and 8:08 p.m. Monday through Friday, and at 7:08 a.m. through 7:08 p.m. on Saturday. Bus services are not currently available on Sundays.
4.
Bicycle Facilities.
Racks for parking and securing bicycles adjacent to Specific Plan area entrances will be provided consistent with Town of Apple Valley requirements, allowing for patrons and employees to bicycle to the Specific Plan and adjacent areas.
C.
Existing Physical Conditions
1.
Topography
The Specific Plan area is located in the Town of Apple Valley. The Specific Plan area is, and has been historically vacant and undeveloped, and contains native desert vegetation. The elevation of the Specific Plan area is approximately 2,900 feet above mean sea level (MSL) and is relatively level, sloping gently to the northeast, with no substantive grade changes.
2.
Hydrology
The topography of the Specific Plan area results in an overland flow with an ultimate discharge onto Dale Evans Parkway. The Specific Plan area also collects approximately 2.60-acres of runoff from a portion of Dale Evans Parkway.
3.
Soils
The soils within the Specific Plan area consist of Quaternary-age alluvium deposits to the maximum explored depth of 51.5 feet below existing ground surface. The alluvial deposits consist of about three to seven feet layers consisting of various mixtures of sand, silt, and clay cemented by calcium carbonate (caliche),underlain by layers of silty sand, sandy silt and sand with gravel, and various amount of caliche.
4.
Seismicity
The Specific Plan area, like most of California, is located within a seismically active area. However, no known active faults have been identified as projecting toward or extending across the Specific Plan area.
5.
Hazardous Materials
The Specific Plan area has been historically vacant and has never been developed with structures. Although the Specific Plan area was formerly part of the Apple Valley Airport, the airport facilities were located to the west and the Specific Plan area remained relatively undisturbed. No hazardous materials have been identified within the Specific Plan area and the overall potential for discovering any hazardous material during development of the Specific Plan area is low.
6.
Biological Resources
The Specific Plan area is located in the Mojave Desert and is not within any waterway. No riparian habitat or federally protected wetland has been identified within or adjacent to the Specific Plan area. Urbanization of the area has precluded any meaningful function of the area as cohesive habitat or as a potential corridor for wildlife movement. Additionally, the Specific Plan area lies within the boundaries of the proposed West Mojave Habitat Conservation Plan (WMHCP). Should the WMHCP be adopted prior to approval of the Specific Plan, any development within the Specific Plan area would be subject to, and will comply with, any applicable WMHCP permitting and/or mitigation fee requirements.
The dominant plant community within the Specific Plan area is Mojave Desert scrub. This community is characterized by widely spaced shrubs separated by bare ground. The most common plant species occurring within this community are bursage (Ambrosia dumosa), and cheesebush (Hymenoclea salsola). Occasional Joshua trees (Yucca brevifolia) also occur within the Specific Plan area. The number of Joshua trees within the Specific Plan area is estimated at 22, which have been surveyed and evaluated consistent with Town requirements.
One special status species, the burrowing owl, is determined to be present within the Specific Plan area. The burrowing owl is the only sensitive wildlife species that would be affected by implementation of the Specific Plan. At present, at least one owl is considered to be resident within the Specific Plan area, and impacts to the burrowing owl are determined to be potentially significant based on owl displacement that will occur as a result of Specific Plan implementation. Environmental Standards ES 4.8.1 to 4.8.4 will mitigate these potential impacts to the burrowing owl.
D.
Existing Utilities
1.
Water
The Specific Plan area will receive potable water from the Apple Valley Ranchos Water Company (AVRWC). AVWRC has a water supply network that as of 2005 includes 22 wells with a pumping capacity of approximately 31.7 million gallons per day, 350 miles of pipe and 8.6 million gallons of storage.
The Specific Plan area and the AVRWC service area lie within the jurisdiction of the Mojave Water Agency (MWA). Water producers within the MWA service area, including AVRWC, rely on groundwater extraction from the Mojave River Basin (Basin) as their primary source of water supply. Groundwater resources available to Basin purveyors constitute a portion of regional groundwater allocations that were determined through the Basin's adjudication, which was designed to bring about a Basin-wide balance in water supplies and consumption, and to restore and maintain available groundwater resources. The MWA is the entity charged with implementing Basin adjudication, and to this end, has developed a Basin-wide Regional Water Management Plan. The MWA is responsible for managing groundwater resources in the Basin, and providing alternate water sources to the region as needed. In this latter regard, the MWA is one of 29 State Water Project (SWP) contractors permitted to deliver water from the California Aqueduct. SWP water imported by the MWA is available to Basin water purveyors whose extractions may exceed their adjudicated allowance. All proposed water system improvements will be designed and constructed to the satisfaction of the Town and the Apple Valley Ranchos Water Company.
2.
Wastewater
The Specific Plan area will be provided wastewater service by the Town of Apple Valley Wastewater Division (which is responsible for wastewater collection), and the Victor Valley Wastewater Reclamation Authority (VVWRA), which is responsible for wastewater treatment. Currently, VVWRA's regional treatment plant has the capacity to provide primary, secondary, and tertiary wastewater treatment for approximately 14.5 million gallons per day (MGD) and a planned ultimate expansion capacity of 18 MGD.
3.
Solid Waste Disposal
The Specific Plan area lies within the service area of AVCO Waste Management Company (a Burrtec subsidiary), which provides solid waste disposal services throughout San Bernardino County. Solid waste generated from the Specific Plan area could be disposed of at any of the six regional landfills in the area, although it is anticipated that such waste will be transported to, and disposed of at, the Victorville Regional Sanitary Landfill. The estimated closure date of this landfill is 2059.
4.
Natural Gas
Southwest Gas will provide natural gas service to the Specific Plan area.
5.
Electricity
Southern California Edison will provide electricity service to the Specific Plan area.
6.
Telephone and Communications
Various private services will provide telephone and communication services to the Specific Plan area.
A.
Land Use Concept
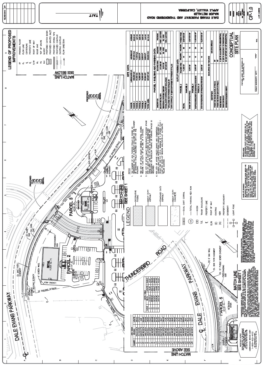
The overall land use concept for the Specific Plan is to create an integrated retail shopping complex that can take advantage of the Specific Plan area's location along a Major Road. The Specific Plan will improve the aesthetic and commercial landscape of the surrounding area by allowing for the transformation of vacant acreage into an attractive and productive blend of retail and service establishments. Development within the Specific Plan area is intended to function as a single, integrated retail center providing for community oriented uses with a community-wide market base. Figures 2 and 3 illustrate the Conceptual Site Plan for the Specific Plan. As discussed in more detail in Section 9.40.050, any and all subsequent approvals and permits required for development of the Specific Plan shall be ministerial and not appealable.
1.
Uses Allowed By Right
Table 1 establishes the permitted uses for the Apple Valley Commercial Specific Plan area. Ancillary and accessory uses, if proposed, will be reviewed concurrently with any application for development submitted. Ancillary and accessory uses that are not specifically listed as permitted may be approved subject to determination of substantial conformance as set forth in Section 9.40.050.
Table 1 Permitted Uses
Note: *24-hour operations permitted as-of-right. 24-hour operations may be permitted for other uses if the Community Development Director determines such a use substantially conforms with the provisions of the Apple Valley Commercial Specific Plan.
B.
Site Development Standards
1.
Land and Structure Regulations
Table 2 establishes the land and structure regulations for the Specific Plan:
Table 2. Land and Structure Regulations
2.
Specific Use Standards and Guidelines.
A.
Amusement Devices and Video Arcades
The following additional standards and guidelines shall apply to amusement devices and video arcades within the Specific Plan area:
1.
Amusement Devices
a.
Up to five amusement devices, not to exceed ten percent of the public floor area, may be permitted per business without being considered an arcade and thus subject to the additional standards subject to arcades.
b.
The amusement devices shall not obstruct entries, exits, aisles, doorways, bicycle parking facilities or other pedestrian areas.
c.
Adult supervision is required and the amusement devices shall be placed in an area that is visible to the supervisor at all times.
d.
At least one bicycle parking space shall be provided for each amusement device.
2.
Arcades
The following additional standards and guidelines shall apply to video arcades within the Specific Plan area, which are defined as locations containing more than five amusement devices:
a.
Adult Supervision. An adult supervisor shall be located on a raised dais located to facilitate the observation of all games and all areas of business in the arcade. The adult supervisor shall be present at all times during the hours of operation, and, if the number of amusement devices exceeds forty, there shall be two adult supervisors.
b.
Bicycle Racks. Bicycle storage racks shall be provided in accordance with Chapter 9.72, Off-Street Parking and Loading Regulations, of the Development Code.
c.
Hours of Operation. The hours of operation of arcades shall be limited to between the hours of 8:00 a.m. and 12:00 a.m. Sunday through Thursday and 8:00 a.m. to 2:00 a.m. Friday and Saturday. Hours may be more restrictive adjacent to residential districts.
d.
Lighting. All arcades shall be fully lighted to the extent that all areas of the premises are easily observable.
e.
Litter. The premises shall be continuously maintained in a safe, clean and orderly condition with trash receptacles provided.
f.
Maximum Number of Machines. The maximum number of games shall not exceed one machine per each 30 square feet of public floor area.
g.
Noise. The sound created by any arcade or by its patrons shall not be detectable from outside the video arcade or from adjacent uses, and shall comply with the provisions of Chapter 9.70, Performance Standards, of the Development Code.
h.
On-site Security. After review by the Town's Police Chief, a determination may be made that on-site security may be required based on the following:
1.
The square footage of the arcade;
2.
Expected customer attendance;
3.
Design of the interior and/or exterior of the arcade;
4.
The nature and character of the neighborhood and the surrounding area;
5.
The location of the arcade within a shopping center and the effects thereof;
6.
The building occupancy limit; and
7.
The nature and character of adjacent uses and other uses in the area.
i.
Smoking and Drinking. Alcoholic beverages or cigarettes shall not be sold or consumed on the premises of the arcade, except that alcoholic beverages or cigarettes may be sold in connection with a retail business of which the arcade is an accessory use. Appropriate signs shall be displayed within the premises.
j.
Telephone. At least one public telephone shall be provided at each arcade.
B.
Automated Teller Machines
The following additional standards and guidelines shall apply to automated teller machines within the Specific Plan area:
1.
Automatic Teller Machines (ATMs) shall be installed in accordance with State law.
2.
The following safety features shall be provided:
a.
Lighting during hours of darkness for the ATM and any defined parking area, access area and the exterior of an enclosed ATM installation;
b.
A minimum of ten-candlefoot power at the face of the ATM, extending five feet outward, unobstructed;
c.
A minimum of two-candlefoot power within 50 feet from all directions, unobstructed. If the ATM is located within ten feet of the corner of the building and the ATM is generally accessible from the adjacent side, a minimum of two-candlefoot power along the first 40 feet, unobstructed, of the adjacent side of the building;
d.
A minimum of two-candlefoot power in that portion of the defined parking area within 60 feet of the ATM.
e.
ATMs shall face a parking lot or thoroughfare.
C.
Automotive Repair and Tire Sales
The following additional standards and guidelines shall apply to automotive repair and tire sales within the Specific Plan area:
1.
Hours of Operation. Any automotive repair or tire-lube facility shall be limited to the hours of 7:00 a.m. to 8:00 p.m. daily.
2.
Enclosures. Repair facilities for body and fender work or similar noise-generating activities shall be conducted in fully-enclosed structures with walls of concrete block or similar materials. All painting shall occur within an approved fully enclosed booth.
3.
Hazardous Material. Any handling, treatment, storage or use of hazardous material shall be in conformance with Chapter 9.70, Performance Standards, of the Development Code, and the operator of such facility shall legally dispose of all motor oil and other hazardous substances in accordance to the requirements and satisfaction of the County Health Care Agency. The Developer shall be responsible for taking appropriate corrective action to address any surface contamination as required for any accidental spills, as required to the satisfaction of the County Department of Health Services.
4.
Litter. The premises shall be kept in a neat and orderly condition at all times. Improvements shall be maintained in a condition of reasonable repair and appearance. Used or discarded automotive parts or equipment or permanently disabled, junked or wrecked vehicles may be stored outside the main building, in locations not visible from any adjacent property or any public right-of-way.
5.
Paving. All areas of the site not used for buildings and landscaping shall be paved.
6.
Repair Activities. All repair activities and operations shall be conducted entirely within an enclosed building, except that service bay doors may be open during business hours. Outdoor service bays, hoists or lifts are prohibited. No vehicle service shall take place in any parking space or drive aisle or partially protruding into a parking space, stacking area or drive aisle.
7.
Service Bays. Service bay doors shall not face adjacent residential uses or districts.
8.
Storage. Exterior parking areas shall be used for employee and customer parking only, not for the repair or finishing work or long term (more than one week) storage of vehicles. Vehicles to be repaired shall not be parked or stored in any street or alley. The storage of junk or permanently disabled or wrecked automobiles shall not be permitted. Used or discarded automotive parts or equipment shall not be located outside of the structure except within the designated trash storage area. No inoperative vehicles shall be permitted to be parked or stored on the site outside the building, including marked parking spaces.
9.
Noise. Exterior public address systems and music shall be prohibited.
D.
Drive-in/Drive-Thru Restaurants
The following additional standards and guidelines shall apply to Drive-in and Drive-Thru restaurants within the Specific Plan area:
1.
Drive-in/Drive-thru Stacking Space. Stacking lanes for drive-in/drive-thru customers shall be of sufficient length to hold at least six vehicles (twenty -foot in length per vehicle) for a minimal total staking length of 120 feet. On-site driveways may be used for stacking space provided that access to required parking spaces is not obstructed, as shown on Figure 9.36.140-A of the Development Code.
a.
Drive-in, drive-thru, delivery or take-out restaurant sites shall have two points of ingress/egress either to a public street system or to an interior parking lot circulation system which serves a group of businesses subject to approval of the Town Engineer.
b.
Vehicle entrances to drive-thru businesses shall be located a minimum of 150 feet, 200 feet is preferred, from the nearest intersection.
c.
Drive-thru facilities shall be provided separate queuing and circulation for drive-thru traffic to insure access for other traffic to parking spaces or exits without waiting in drive-thru service lanes.
d.
Drive-thru facilities shall be provided screening and protection from sun and wind through the use of special landscape and architectural treatments such as berming and bays around the drive aisle.
e.
Drive-thru facilities shall provide a minimum of ten feet of landscaping at the corners between adjacent streets.
f.
Drive through stacking lanes shall be appropriately striped to designate the drive-through or with directional signs identifying the drive-through lanes, subject to review and approval of the Community Development Director. This review and approval is ministerial and may not be appealed.
2.
Landscaping. Berming and landscaping shall be provided to screen the entire drive-thru area. A combination of a low decorative wall and landscape berm shall provide a buffer of the drive-through lanes and windows that are adjacent from Dale Evans Parkway and parking lot. Landscaping shall be installed and permanently maintained in compliance with Chapter 9.75, Water Conservation/Landscaping Regulations, of the Development Code.
3.
Lighting. All on-site lighting shall comply with Chapter 9.70, Performance Standards, of the Development Code.
4.
Menu Boards. Placement of menu boards for the drive-through facilities shall be received and approved by the Planning Division prior to issuance of building permits. The placement of the menu boards shall be sensitive to the view of the street and the potential noise generate by the noise generated by the signs in relation to the adjacent single-family neighborhood.
5.
Noise. Drive-in, drive thru, delivery or take-out restaurants shall comply with the provisions of Chapter 9.70, Performance Standards, of the Development Code.
6.
Parking. A parking and vehicular circulation plan encompassing adjoining streets, alleys and uses shall be submitted for the review and approval of the Town Engineer prior to the issuance of building permits. This review and approval is ministerial and may not be appealed. In addition, all on-site parking shall comply with Chapter 9.72, Off-Street Parking and Loading Regulations, of the Development Code.
7.
Signs. All on-site signs shall comply with the signage requirements for the Specific Plan area.
8.
Trash Enclosures. Trash enclosures shall be provided in accordance with the provisions contained in Section 9.35.090, Trash Enclosures, of the Development Code.
E.
Outdoor Displays, Sales and Uses.
The following additional standards and guidelines shall apply to the outdoor display and sale of merchandise within the Specific Plan area:
1.
The merchandise on display, or for sale, shall be located outside of an enclosed building only during the business hours of the related or associated business.
2.
All merchandise displayed or made available outside an enclosed building shall consist of new items, collectables and/or antiques (as defined herein) and new hand-made crafts. No second-hand or previously used items (except antiques and collectables) shall be displayed or allowed for sale outside of an enclosed building. No items shall be displayed upon the ground, except those items which, by their nature (such as antique furniture), are too large or too heavy to be placed upon a display table.
3.
Any outdoor storage shall be enclosed within the walls of the building (without a roof) to provide a screen so that the storage of materials and the staging area is not visible from public view. The truck loading bays at the northeast corner of the building shall also be enclosed with the walls of the building to provide a screen from public view from the west. The access to the outdoor storage and staging/loading areas can be gates made of tubular steel.
4.
All merchandise displayed or made available outside an enclosed building shall not obstruct the entrance/exit to the development or any building, drive isle, driveway, emergency isle or exit or required parking spaces. Said merchandise shall not be placed in or be allowed to damage or negatively impact landscaped areas on site.
5.
All merchandise displayed or made available outside of an enclosed building shall not be placed in a manner so as to become a visual distraction to motorists or pedestrians using the public right-of-way, or interfere with traffic signals or controls.
6.
The merchandise displayed or made available for sale outside an enclosed building shall not interfere with, or impede the flow of, pedestrian or vehicular traffic, on, within or through the site.
7.
No items, or any portion of a displayed item, shall be displayed in the public right-of-way.
F.
Recycling Facilities
1.
Reverse Vending Machines
Reverse vending machines within the Specific Plan area shall comply with all other standards of the Specific Plan in addition to the following criteria:
a.
Machines shall be established in conjunction with a commercial use or community service facility that is in compliance with this Development Code and the building and fire codes of the Town;
b.
Machines shall not occupy parking spaces required by the primary use;
c.
Machines shall occupy no more than 50 square feet of floor space per installation, including any protective enclosure, and shall be no more than eight feet in height;
d.
Machines shall be constructed and maintained with durable, waterproof and rustproof material;
e.
Machines shall be clearly marked to identify the type of material to be deposited, operating instructions, and the identity and phone number of the operator or responsible person to call if the machine is inoperative;
f.
Machines shall have a sign area of a maximum of four square feet per machine, exclusive of operating instructions;
g.
Machines shall be maintained in a clean, sanitary and litter-free condition on a daily basis;
h.
Operating hours shall be consistent with the primary use;
i.
Machines shall be illuminated to insure comfortable and safe operation if the operating hours are between dusk and dawn;
j.
Machines shall maintain an adequate on-site refuse container for disposal of nonhazardous waste.
2.
Small Collection Facilities
Small collection facilities shall comply with the standards of the Specific Plan and the following criteria:
a.
Facilities shall be established in conjunction with a commercial use or community service facility that is in compliance with the Town Development Code, building and fire codes;
b.
Facilities shall be no larger than 500 square feet and occupy no more than five parking spaces, not including space that will be periodically needed for removal of materials or exchange of containers;
c.
Facilities shall be set back at least ten feet from any property line and shall not obstruct pedestrian or vehicular traffic;
d.
Facilities shall accept only glass, metals, plastic containers, papers and reusable items;
e.
Facilities shall use no power-driven processing equipment except reverse vending machines;
f.
Facilities shall use containers that are:
1.
Constructed and maintained with durable waterproof and rustproof material;
2.
Covered when the site is not attended;
3.
Secured from unauthorized entry or removal of material; and
4.
of sufficient capacity to accommodate materials collected and the collection schedule.
g.
All recyclable material shall be stored in containers or in the mobile unit vehicle and shall not be left outside of containers when the attendant is not present;
h.
Facilities shall be maintained in a clean and sanitary manner free of litter and any other undesirable material;
i.
Noise levels shall not exceed 65 dba as measured at the property lines of adjacent residential uses or districts;
j.
Facilities shall not be located within 100 feet of any residential use or district;
k.
Collection containers shall be clearly marked to identify the type of material that may be deposited, to identify the name and phone number of the operator of the facility, the hours of operation, and to display a notice that no material shall be left outside the recycling enclosure or containers;
l.
Signs may be provided as follows: 1) Recycling facilities may have identification signs with a maximum area of 15 percent per side of a structure or 16 square feet, whichever is larger. In the case of a wheeled facility, the side shall be measured from the ground to the top of the container; 2) Signs shall be compatible with existing signs at the location; 3) Directional signs, with no advertising message, may be installed with the approval of the Director if necessary to facilitate traffic circulation or if the facility is not visible from the public right-of-way;
m.
The recycling facility shall not harm or interfere with the required landscaping on the site;
n.
No additional parking spaces shall be required for customers of a small collection facility located within the established parking lot of the primary use. One space will be provided for the attendant, if necessary;
o.
An area for mobile recycling units shall be clearly marked to prohibit other vehicular parking during the hours when the mobile unit is scheduled to be present;
p.
Occupation of parking spaces by the recycling facility and by the attendant shall not reduce the available parking spaces below the minimum number required by the primary use unless the following conditions exist: 1) A parking study shows that existing parking capacity is not fully utilized during the time that the recycling facility will be on the site; 2) The approval will be reconsidered after 18 months;
q.
Facilities shall maintain an adequate on-site refuse container for disposal of nonhazardous waste.
G.
Service (Gasoline) Stations
The following additional standards and guidelines shall apply to service and gasoline stations within the Specific Plan area:
1.
Buildings or structures shall not be located within 20 feet of any street right-of-way, or within five feet of any interior property line.
2.
Fuel pump islands shall be designed to minimize traffic conflicts. Gasoline pumps shall be at least 20 feet from any property line.
3.
Canopies shall be at least ten feet from any property line and shall be architecturally integrated with, the main structure.
4.
Service stations shall be compatible with adjacent commercial developments through the use of compatible materials, textures, colors, landscaping treatment and access.
5.
Screening and buffering shall be in accordance with Chapter 9.37, Commercial and Office Districts Design Standards, of the Development Code. In addition, service stations shall be separated from adjacent residential district or use by a minimum six-foot high decorative masonry wall. Materials, texture, color and design of the wall shall be compatible with on-site and adjacent development.
6.
Landscaping shall be installed and permanently maintained in compliance with Chapter 9.75, Water Conservation/Landscaping Regulations, of the Development Code, and the following:
a.
A minimum of ten percent of the site shall be landscaped, including a minimum three-foot wide planting strip along all interior property lines and adjacent to buildings. Landscaped areas shall be surrounded by a concrete curb to preclude vehicles from driving over the sidewalk at other than access driveways. Permanent opaque landscaping or berming shall be maintained in street frontage landscaped areas at a minimum height of three feet, except in any driveway or intersection clear sight triangle.
b.
A minimum of 150 square feet of landscaped area shall be provided at the intersection of two property lines at a street corner.
c.
All landscaped areas shall be maintained in a neat, orderly and safe manner. Such landscaping and maintenance shall include, but is not limited to, the installation and use of an automatic irrigation system, permanently and completely installed so as to deliver water directly to all landscaped areas.
7.
One driveway, with a maximum width of 32 feet, shall be permitted on any one street frontage and shall be located as follows:
a.
Driveways shall not be located closer than 150 feet from the intersection of major roads and 100 feet for other roads from the beginning curb return of a street intersection or 25 feet from a residential property line or alley. Driveways shall not interfere with the movement and safety of vehicular and pedestrian traffic. Any deviation requires the written approval of the Town Engineer.
b.
All lubrication and wash racks shall be located within a fully enclosed building. Access to the service bays and wash racks shall not be located within 50 feet of a residential use or district.
8.
All service stations shall provide air and water to customers.
9.
All service stations shall provide at least one men's and one women's restroom. Restrooms shall be accessible to the general public and to the physically disabled during normal operating hours.
10.
Coin-operated vending machines shall not be allowed outside a structure for the purpose of dispensing items commonly found in a service station, such as refreshments and maps.
11.
All repair and service activities and operations shall be conducted entirely within a fully enclosed building, except as follows:
a.
The dispensing of petroleum products, water and air; and
b.
The replacement of items such as wiper blades, fuses, radiator caps and lamps.
12.
Trash enclosures shall be provided in accordance with the provisions contained in Section 9.35.090, Trash Enclosures, of the Development Code.
13.
All service stations shall, at all times, be operated in a manner not detrimental to surrounding properties or residents. Site activities shall comply with Chapter 9.70, Performance Standards, of the Development Code, and shall not produce any of the following:
a.
Damage or nuisance from noise, smoke, odor, dust, or vibration;
b.
Hazard from explosion, contamination, or fire; or
c.
Hazard occasioned by the unusual volume or character of traffic, or the congregating of a large number of people or vehicles.
14.
All service stations selling alcoholic beverages shall conspicuously post the premises with signs prohibiting the consumption of alcoholic beverages on-site.
In addition, the following accessory uses to service stations are permitted within the Specific Plan area:
a.
Vehicle washing and lubricating services;
b.
The sale and servicing of tires, batteries, replacement items and other automotive accessories;
c.
Minor automotive repair;
d.
Towing service limited to two tow trucks; and
e.
The rental of trailers and trucks shall be permitted as an accessory use subject to the following:
1.
The rental equipment does not occupy or interfere with the required parking for the service station;
2.
The rental operation is clearly incidental to and secondary to the primary use;
3.
Rental equipment shall not obstruct vehicle or pedestrian access or line-of-sight;
4.
Screening and buffering shall be in accordance with Chapter 9.37, Commercial and Office Districts Design Standards, of the Development Code.
5.
Service stations that remain vacant or cease operations for more than 180 days shall be required to have all underground storage tanks (unless waived in writing by the Apple Valley Fire District and the San Bernardino County Environmental Health Services Department), all gasoline pumps and pump islands, and free-standing canopies, removed. This requirement does not apply to tanks that have never been utilized for fuel storage.
6.
If the service station is to resume operation after one year, the approval of a Special Use Permit is required,
7.
Converted Service Stations. Service station sites and buildings which are proposed for conversion to another use are subject to the approval of a Conditional Use Permit.
3.
General Design Concepts
Within the Specific Plan, general design concepts address the nature and function of the use, building, or feature being considered.
The Specific Plan proposes to use certain architectural elements that complement the design of the Apple Valley Commons shopping center to the west of the Specific Plan area, as shown on Figures 4 and 5 (Exterior Elevations). This commercial center incorporates a contemporary Spanish style, utilizing matching materials and color schemes and creating an overall uniform theme for the center. The proposed materials include terracotta "S" roof tiles, plaster walls, stone veneer and cornice moldings. The proposed Specific Plan design concept replicates the varied roof lines and tower element, window design, arches and covered trellis details of the buildings within the Apple Valley Commons Shopping Center. A variety of earth tone colors are proposed, which include shades of tan and brown that are compatible with the adjacent center. Architectural accents, such as precast concrete medallions, decorative tile and stone veneer, will provide Spanish details to all buildings proposed within the Specific Plan area.
The Major Tenant building within the Specific Plan has been designed with strong architectural elements and vertical features, as shown on Figures 4 and 5 (Exterior Elevations). The facades of the building are broken up with a variety of architectural elements, including pop-outs, reveals, covered trellises, and covered walkways. The wall planes of the building are staggered and the parapet roof line of the structure varies in height and style to add to the visual interest of the building. The varied roof heights and staggered footprints also provide character to the design of the center. Similar designs will be carried out on the freestanding buildings within the Specific Plan area, but at a smaller scale. The height of any architectural element/feature shall not exceed a height of 42 feet.
The Specific Plan will provide pedestrian focal points and gathering places. A pedestrian plaza area, with convenient access to the Civic Center Park, is south of the proposed anchor tenant building. This open space plaza area will provide a gathering place for patrons and employees to sit and enjoy the outdoor setting. This plaza is architecturally enhanced with decorative trellis features and landscaping. This complies with Section 9.37.050(D) (2) of the Development Code, which requires projects larger than five acres to "include a hardscape element which creates a focus for the development and creates a usable public open space amenity such as a plaza or arbor center."
4.
Landscaping
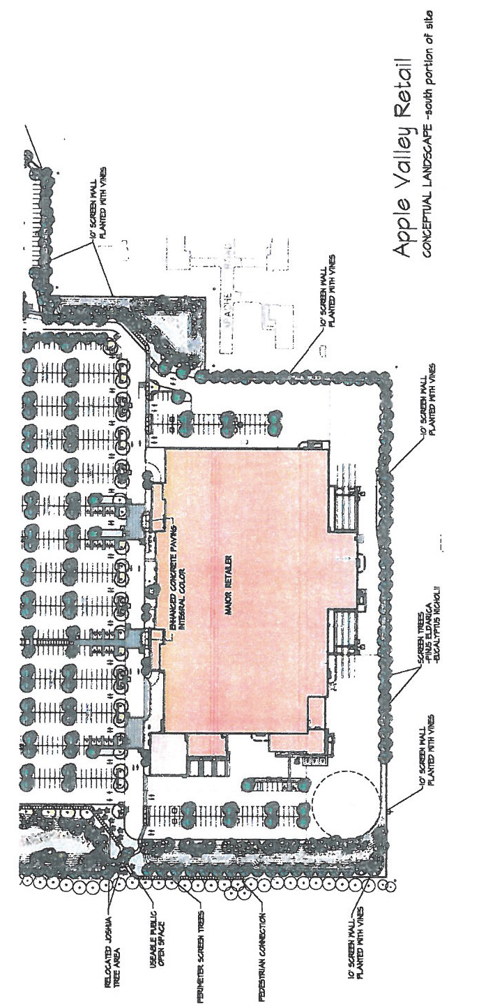
The quality environment envisioned for the Specific Plan will be established, in large part, by its landscape treatment. Landscaping is to be designed to highlight positive visual features, to screen negative ones, and to provide a cool, pleasant outdoor environment. Landscaping is also intended to give structure and identity to the overall development in the Specific Plan, and will substantially conform to the design shown on Figures 6 through 8. The following landscaping standards shall be adhered to:
a.
All slopes over three feet in height shall be landscaped and irrigated according to Town standards.
b.
Any protected desert plants or Joshua Trees impacted by development are subject to the regulations specified in Section 9.76.020 (Plant Protection and Management) of the Development Code. The Joshua Trees on site shall be relocated to a landscape planting area on site.
c.
Final landscape and irrigation plans shall be submitted prior to the issuance of Building permits and installed prior to issuance of occupancy permits, subject to approval by the Planning Division. Approval of landscape and irrigation plans shall be ministerial and not appealable. A report from a licensed landscape architect shall be provided describing the types of trees proposed and their ability to sustain and grow within the high desert climate. In addition, this report shall provide a water budget that complies with the Town of Apple Valley Landscape Irrigation Ordinance and State of California's Water Efficiency Landscape Ordinance.
d.
Landscaping shall be installed with appropriate combinations of drought tolerant trees, shrubs, and ground cover, consistent with Chapter 9.75, Water Conservation Landscape Regulations, of the Development Code.
e.
The minimum tree within the center shall be a 24-inch box size specimen. At least one-half of the accent trees located in the areas of the entrances to the site shall be a minimum of 48-inch box size specimen.
f.
All front building setbacks and street right-of-way areas located between on-site improvements and the back of existing or future public sidewalks or street curbs, except needed access driveways, shall be fully landscaped.
g.
All required and installed landscaping shall incorporate and maintain a functioning automatic sprinkler system, and said landscaping shall be maintained in a neat, orderly, disease and weed free manner at all times.
5.
On-Site Circulation and Parking
On-Site Circulation
The on-site circulation standards within the Specific Plan will ensure the efficient and safe passage of vehicles and pedestrians to and from the various commercial uses within the Specific Plan area. On-site circulation within the Specific Plan area shall adhere to the following requirements:
a.
Prior to occupancy, an agreement to grant reciprocal vehicular and pedestrian ingress, egress, parking and circulation access shall be recorded to extend over and across those areas designated as driveways, driving lanes and pedestrian walkways of the respective parcel and with the future development or use to the southwest (APN 3112-251-07). If the southwest parcel has not submitted plans for development at the time of occupancy, the reciprocal agreement can include a public easement for the purposes of vehicular and pedestrian ingress, egress and parking. Submittal for review of the reciprocal agreement must be provided to the Planning Division prior to recordation. Proof of recordation shall be provided prior to issuance of a Certificate of Occupancy.
b.
Bricks, pavers or decorative stamped concrete shall be used to accent and highlight street entries, main travel lanes and pedestrian walkways in parking areas or focal areas.
c.
All litter shall be removed from the exterior area around the premises including adjacent public sidewalk areas and parking areas no less frequently than once each day that the business is open.
Parking
a.
Parking requirements shall be met and be in compliance with the standards set forth in Chapter 9.72 of the Town Development Code. All parking stalls shall be clearly striped and permanently maintained with double or hairpin lines. A maximum of 1,218 parking stalls shall be provided within the Specific Plan area.
b.
Required parking spaces shall be provided for the handicapped in accordance with Town standards and in accordance with Title 24 of the California Administrative Code. The handicapped spaces shall be located as close as practical to the entrance of the center. Each space must be provided with access ramps and clearly marked in accordance with Title 24 of the California Administrative Code.
6.
Signage
All identification signs shall have a separate permit and are subject to final approval by the Town Planning Division. Review and approval of a sign permit is ministerial and not appealable. In addition, the following standards and guidelines shall apply to on-site signage within the Specific Plan area:
a.
Pylon Signs/Monument Signs
The on-site signage for the Specific Plan area shall include the construction of one pylon sign and three monument signs along Dale Evans Parkway. Two monument signs may be no more than six feet in height, one monument sign may be no more than 15 feet in height, and the pylon sign may be no more than 25 feet in height. Pylon signs must be separated by 200 feet. Both of the monument signs located at each of the two entrances along Dale Evans Parkway shall be located a minimum of 50 feet south of the entrances to prevent any sight clearance issue with vehicular traffic entering, leaving or passing by the center.
b.
Wall Signage
All wall signs shall consist of interior-illuminated, plastic faced, metal channel letters, and reverse channel letters are encouraged. Can signs may be approved on a case by case basis by the Community Development Director, provided that the can sign represents a registered trademark, symbol or logo commonly used by the tenant. Exposed raceways and exposed neon are prohibited.
c.
Major Tenant Signage
The Major Tenant is allowed one square foot of signage per each linear foot of building frontage, with sign coverage limited to 80 percent of the building's façade. The Major Tenant signage may not exceed four feet in height for primary signage and two feet in height for secondary signage.
d.
Single Tenant Pad
One square foot of signage shall be allowed per each linear foot of building frontage with sign coverage limited to 80 percent of the building's façade, not to exceed two feet of overall height for single line and two feet six inches for double line.
e.
Miscellaneous Signage
Any sign not specifically identified in the Specific Plan shall be subject to the regulations of the Development Code.
7.
Lighting
All lighting within the Specific Plan area shall adhere to the following requirements:
a.
Lighting fixtures throughout the site shall be of a type and be located in such a manner that no light or reflected glare is directed off-site and shall provide that no light is directed above a horizontal plane passing through the bottom of the fixture. All glare shall be directed onto the site and away from adjacent properties and light standards shall not exceed fifteen (15) in height adjacent to residential districts as required by the EIR.
b.
Light standards shall blend architecturally with buildings, pedestrian areas and other hardscape elements.
c.
All lighting used in parking lots for security purposes or safety-related uses shall be scheduled so light rays emitted by the fixture are projected below the imaginary horizontal plane passing through the lowest point of the fixture and in such a manner that the light is directed away from streets and adjoining properties.
8.
Fire Protection
The Specific Plan Area is protected by the Apple Valley Fire Protection District (Fire District). Prior to construction occurring on any parcel, the owner shall contact the Fire District for verification of current fire protection development requirements. The following section addresses fire protection requirements for the Specific Plan area:
a.
A turnaround shall be required at the end of each roadway 150 feet or more in length and shall be approved by the Fire District. Turning radius on all roads within the facility shall not be less than 22 feet inside and minimum of 40 feet outside turning radius with no parking on street, or 47 feet with parking. Uniform Fire Code, Section 902.2.2.3. Apple Valley Fire Protection District Ordinance 41, Section 1 (e). Install per Fire District Standard Series #202.
b.
Plans for fire protection systems designed to meet the fire flow requirements set forth below shall be submitted to and approved by the Fire District and water purveyor prior to the installation of said systems. (Apple Valley Fire Protection District, Ordinance 42).
1.
Unless otherwise approved by the Fire Chief, on-site fire protection water systems shall be designed to be looped and fed from two remote points. The minimum water main size is twelve inches.
2.
System Standards: *Fire Flow 5,250 GPM @ 20 psi Residual Pressure Duration: 4 Hour(s)
Hydrant Spacing: 330 Feet
*If blank, flow to be determined by calculation when additional construction information
is received. Install per Fire District Standard Series #101.
3.
The total number of fire hydrants will be determined at a later date. It is the responsibility of the owner/developer to provide all new fire hydrants with reflective pavement markers set into pavement and curb identification per Fire District Standard. Install per Fire District Standard Series #101.
c.
An approved fire sprinkler system shall be installed throughout any building:
1.
5,000 square feet or greater, including garage and enclosed areas under roof, or
2.
Other per California Building Code requirements.
The system shall be supervised and connected to an approved alarm monitoring station and provide local alarm which will give an audible signal at a protected location. Supervision to be both water flow and tamper. Sprinkler work may not commence until approved plans and permits have been issued by the Fire District. (Apple Valley Fire Protection District, Ordinance 41).
d.
A letter shall be furnished to the Fire District from the water purveyor stating that the required fire flow for a development in the Specific Plan area can be met, prior to obtaining a Certificate of Occupancy.
e.
Fire District Final Subdivision/Tract/Development fees shall be paid to the Fire District prior to final map acceptance according to the current Apple Valley Fire Protection District Fee Ordinance.
f.
Prior to issuance of a Building Permit, the developer shall pay all applicable fees as identified in the Apple Valley Fire Protection District Ordinance.
g.
A Knox Box Rapid Entry System shall be required for development in the Specific Plan area. Uniform Fire Code, Section 902.4. Install per A.V. F.P.D. ARI #5.
9.
Noise
All requirements of the Town's Noise Ordinance shall be met at all times within the Specific Plan Area. In addition, delivery trucks shall be limited to delivering during the daytime hours of 7:00 a.m. to 8:00 p.m. Monday through Saturday.
A.
Infrastructure
1.
Water Facilities
The Specific Plan area will be provided potable water by AVRWC. All proposed water
system improvements will be designed and constructed to the satisfaction of the Town
and the AVRWC. The Specific Plan area water supply and demand issues are comprehensively
addressed within the 2005 Urban Water Management Plans ("UWMPs").
Based on AVRWC planning and design criteria, the Specific Plan area water demand is
as follows:
Table 3
Apple Valley Commercial Specific Plan Estimated Water Demand
The developer is responsible for ensuring that all requirements to obtain water service for the Specific Plan area are met with AVRWC as well as all other applicable agencies. All water mains and fire hydrants providing required fire flows shall be constructed in accordance with all applicable requirements of the Fire District, subject to the approval by AVRWC. All approvals required shall be ministerial and not appealable.
2.
Wastewater Facilities
The Specific Plan area will be provided wastewater service by the Town of Apple Valley Wastewater Division for wastewater collection, and by VVWRA for wastewater treatment. Wastewater treatment demands of the Specific Plan area are conservatively estimated to approximate the Specific Plan area's commercial water demand, estimated at 19,200 gallons per day (0.019 MGD). This represents approximately 0.13 percent (0.0013) of the VVWRA current plant capacity, and approximately 0.10 percent of the near-term VVWRA 2008 expanded plant capacity.
Table 4
Apple Valley Commercial Specific Plan Estimated Wastewater Flows
Developer is responsible to ensure that all requirements to obtain wastewater service for the Specific Plan area are met with the Town of Apple Valley Wastewater Division and VVWRA, as well as all other applicable agencies. These approvals are ministerial and not appealable.
Sewage disposal shall be by connection to the Town of Apple Valley sewer system. Financial arrangements, plans and improvement agreements must be approved by the Town of Apple Valley Public Works Department.
A grease interceptor with minimum capacity of 750 gallons shall be required for all floor drains and service sinks, and all other receptors of grease and oil-bearing wastes.
3.
Drainage
The topography of the Specific Plan area results in an overland flow with an ultimate discharge onto Dale Evans Parkway. The Specific Plan area also collects approximately 2.60-acres of runoff from a portion of Dale Evans Parkway. The Specific Plan area will utilize a combination of four surface basins to retain and infiltrate the runoff generated by the 100-year 24-hour storm event, as shown on Figures 9 and 10, and subject to the following requirements:
a.
A final drainage plan with street layouts shall be submitted for review and approval by the Town Engineer showing provisions for receiving and conducting offsite and onsite tributary drainage flows around or through the site in a manner which will not adversely affect adjacent or downstream properties. This plan shall consider retaining onsite drainage flows from a 100 year design storm.
b.
Any developer fees including but not limited to drainage fees shall be paid by the developer as per Town enactment.
c.
Grading and drainage parameters shall be in compliance with the Building Code and Town ordinances. The developer shall provide landscaping of the basin and all parkway areas adjacent to all public rights of way, subject to the approval of the Town, and shall form or establish an assessment district or other approved property owner association to provide for the on-going maintenance of the retention basins and other landscaped areas. The developer shall pay for all costs relating to establishment of the district. The retention basins shall also include Town Standard two-stage dry wells to help facilitate the rapid removal of storm water.
d.
Grading and drainage plans must be submitted to and approved by the Building Official, Planning Department and Town Engineer prior to permit issuance.
e.
Developer must submit plans and obtain permits for all structures and retaining walls.
4.
Water Quality
The existing drainage within the Specific Plan area is discussed above in Section 9.40.020(C)(2), Hydrology.
During construction, in accordance with the National Pollution Discharge Elimination System (NPDES) requirements for storm water quality, the developer will be required to prepare a construction activities erosion control plan to alleviate potential sedimentation and storm water discharge contamination impacts of development within the Specific Plan area. The Developer will also be responsible for obtaining a General Permit for storm water discharge from the Santa Ana Regional Water Quality Control Board. Under the General Permit, discharge of materials other than storm water is prohibited. In addition, the developer must prepare, retain at the construction site, and implement a Storm Water Pollution Prevention Plan (SWPPP) which identifies the sources of sediments and other pollutants that affect the quality of storm water discharge, and implement practices to reduce sediment and other pollutants to storm water discharge.
A Notice of Intent (NOI) and Storm Water Pollution Prevention Plan (SWPPP) must be submitted to and approved by the Engineering and Building Departments prior to issuance of a grading permit and or any land disturbance.
During operations, all activities must comply with a Water Quality Management Plan (WQMP), which includes various Treatment Control Best Management Practices (BMPs). Compliance with the WQMP would ensure that operational activities within the Specific Plan area would not violate any water quality standards. A Final WQMP shall be submitted for review and approval by the Public Works Department/Town Engineer for all ongoing drainage facilities and maintenance. The Final WQMP shall conform to the latest requirements set forth by the Lahontan Regional Water Quality Control Board.
5.
Solid Waste Disposal
As discussed in Section 9.40.020 (D)(3) of this Specific Plan, solid waste generated in the Specific Plan area may be disposed of at any of the six regional landfills in the area, although it is anticipated that such waste will be transported to, and disposed of at, the Victorville Regional Sanitary Landfill. Waste generation of the Specific Plan area is estimated at 3.1 tons per day, and maximum throughput of the landfill is 3,000 tons/day. Waste generated by the Specific Plan area would comprise approximately 0.103 percent of the Landfill's maximum permitted daily throughput.
6.
Police Protection
Police protection for the Specific Plan area will be provided by the Apple Valley Police Department, as a contract service of the San Bernardino County Sheriff. No new or expanded police protection facilities are needed to adequately serve the Specific Plan area.
7.
Fire
Fire protection services for the Specific Plan area are provided by the Apple Valley Fire Protection District. No new or expanded fire protection facilities are needed to adequately serve the Specific Plan area.
8.
Electricity and Telecommunications
Electricity for the Specific Plan area will be provided by Southern California Edison. No new energy-producing facilities would be necessary to serve the Specific Plan area, nor will the Specific Plan area require the construction or extension of new energy transmission lines. Telecommunication services for the Specific Plan area will be provided by various private companies. Natural gas for the Specific Plan area will be provided by Southwest Gas. All utilities shall be placed underground in compliance with Town Ordinance No. 89.
B.
Roads
Access to the Specific Plan area allows for safe and efficient travel to and from the area. Administrative provisions and signage of the Specific Plan will facilitate direction and access throughout the area. Public transportation will be permitted in the Specific Plan area.
Access to the Specific Plan area will be provided via Dale Evans Parkway via two (2) driveways. The southerly driveway onto Dale Evans Parkway (Driveway 1) will be signalized and aligned with the opposing driveway which provides access to the Lowe's development on the west side of Dale Evans Parkway. Driveway 1 will provide two lanes inbound and two lanes outbound. The northerly driveway (Driveway 2) will consist of a signalized northerly driveway onto Dale Evans Parkway located between Parcels 1 and 4, and in addition to patron traffic, will provide access for service vehicles (trucks) leaving the Specific Plan Area. The driveway will have one lane inbound and two lanes outbound.
In addition to these Specific Plan area improvements, the following off-site circulation improvements will be constructed as part of the Specific Plan:
1.
Traffic signal and intersection modifications shall be provided at the Dale Evans Parkway and Bass Hill Road intersection.
2.
The north side of Outer Highway 18 is to be removed from Standing Rock Avenue to Dale Evans Parkway. In combination with the removal of the outer highway, a new connection at Standing Rock Avenue and State Route 18 is to be constructed.
3.
A traffic signal shall be constructed on Dale Evans Parkway at the northeast access driveway. The traffic signal on Dale Evans Parkway at the northeast access driveway must have battery back-up, pre-emption, and be interconnected with nearby signals.
4.
A Class 1 Bike Path shall be constructed on the east side of Dale Evans Parkway. A Lifeline Multi-Use Trail is required along the northeasterly and east boundary of the Specific Plan area adjacent to the rear property line of the project as identified in General Plan Exhibit II-9, Recreational Trail System.
5.
A standard bus turn-out shall be incorporated into the improvements to Dale Evans Parkway to accommodate a forty (40)-foot vehicle. Location and design considerations shall be given to ensure a convenient entrance, unobstructed and continuous path of travel to comply with ADA regulations and locating the turnout a sufficient distance from the nearest driveway so that the turnout does not impede ingress and egress of vehicles.
6.
In addition to the bus turn-out identified above, the installation of a bus stop shelter will be required on Dale Evans Parkway.
7.
Street improvement plans shall be submitted to the Town Engineer for review and approval. Such approval is ministerial and non-appealable.
8.
Dale Evans Parkway adjacent to the property shall be improved to the Town's half-width major road standards, including an acceleration/deceleration line, raised median, and sidewalks.
9.
Non-vehicular access rights shall be dedicated to the Town of Apple Valley along the frontage of the project on Dale Evans Parkway except at designated driveway locations.
10.
A frontage foot fee must be paid for improvements previously constructed on Dale Evans Parkway.
11.
During the grading of the roads, soils testing of the road sub grades by a qualified soils engineering firm shall be performed to determine appropriate structural road section. Minimum asphalt concrete thickness for all streets shall be 0.33 ft.
12.
An encroachment permit shall be obtained from the Town prior to performing any work in any public right-of-way.
13.
Final improvement plans and profiles shall indicate the location of any existing utility which would affect construction and shall provide for its relocation at no cost to the Town.
14.
Any required street striping shall be thermoplastic as approved by the Town Engineer.
C.
Grading and Construction
The Specific Plan area is relatively flat. To develop the Specific Plan area, the site will be graded and prepared for construction. The total earthwork is estimated to include approximately 36,000 cubic yards of fill. A final grading plan shall be submitted to the Town Engineer for review and approval prior to issuance of a grading permit. A grading permit shall not be issued until street improvement plans have been submitted to the Town Engineer for review and substantial completion of the street plans has been attained as determined by the Town Engineer, and all grading shall be subject to the following requirements:
1.
A pre-construction permit and inspection and a pre-grading meeting is required prior to any land disturbing activity or grading to verify requirements for erosion control, flood hazard native plant protection and desert tortoise habitat. This meeting will include the Building Inspector, General Contractor, Grading Contractor, soils technician and any other parties required to be present during the grading process such as a Biologist and/or Paleontologist
D.
Fiscal Implementation
Implementation of the Specific Plan including, without limitation, construction of all infrastructure and private facilities contemplated in the Specific Plan, will be financed as follows:
1.
All infrastructure necessary to implement the Specific Plan will be privately funded (by way of debt and/or equity financing), except to the extent that the cost of components of the infrastructure is:
a.
funded by development impact fees, fair share contributions and other payments to public agencies and/or;
b.
reimbursed from any public source.
2.
All private improvements necessary to implement the Specific Plan will be privately financed (by way of debt and/or equity financing).
A.
Permit Processing
Development within the Specific Plan area which substantially conforms to the provisions of the Specific Plan and the various conceptual plans attached as Figures 2 to 10 shall be processed through the building permit and construction plan submittals. Any approval, decision, review or action in this respect shall be ministerial and not appealable.
For purposes of development anticipated under the Specific Plan, ministerial building permit and construction plan review includes any subsequent approvals, decisions, review or actions required by Town agencies, entities or individuals (i.e. Planning Division, Public Works, Building & Safety). The purpose of these approvals, decisions, review or actions is to ensure compliance with the provisions of the Specific Plan and all applicable building codes and requirements of the Town, County, State and other responsible agencies. Ministerial building permit and construction plan review shall be non-discretionary, final actions that cannot be appealed.
Development that is not consistent with the development standards set forth in the Apple Valley Commercial Specific Plan, shall either require a Substantial Conformance Determination, as discussed below, or require approval under the provisions and requirements of the Town Development Code for development in the C-G Zone.
B.
Substantial Conformance Determination
1.
Substantial Conformance Determination - Purpose
The Substantial Conformance Determination is a mechanism to allow the approval of minor modifications for development under the Specific Plan. Substantial Conformance Determinations may include, but are not limited to: minor modifications to the conceptual plans shown on Figures 2 to 10; inclusion of land uses not listed in Table 1 of the Specific Plan; modifications that might be necessary to comply with applicable infrastructure; public services and facilities requirements; landscape palette; and other issues. Substantial Conformance Determination shall not include significant modifications in the basic design of the Specific Plan area; significant changes to the height or bulk of the approved uses; or increases in the density or intensity of the approved uses unless specifically permitted by the provisions of this Specific Plan.
The use of Substantial Conformance Determination is intended to ensure orderly development, quality aesthetic design, and safe and harmonious placement of uses within the Specific Plan area. Substantial Conformance Determination (unless specifically noted otherwise) shall be made by the Community Development Director or designee administratively, without the need for a public hearing. Furthermore, the Substantial Conformance Determination will be final and not subject to appeal. In making a Substantial Conformance Determination, the Community Development Director or designee shall first make all of the required findings set forth in this section.
2.
Guidelines for Substantial Conformance Determination
The following guidelines define the provisions of the Specific Plan subject to Substantial Conformance Determination, and the limits placed on the degree of variance from the provisions of the Specific Plan that can occur through the Substantial Conformance Determination procedure.
Permitted Land Uses
Land uses not listed as permitted in Table 1 of this Specific Plan may be permitted, subject to a Substantial Conformance Determination, provided that:
•
The proposed use is compatible with the uses permitted described in Table 1 of this Specific Plan; and
•
The proposed use is similar to and will not cause environmental impacts substantially greater than the other permitted uses set forth within Table 1 of this Specific Plan.
Infrastructure
Any modifications to the alignment of access roads; parking lot configurations, or adjustments to individual infrastructure facilities plans such as drainage, sewer, water, and utilities shall be subject to Substantial Conformance Determination by the Community Development Director or designee. Prior to a Substantial Conformance Determination, the Community Development Director or designee shall make the finding that the proposed modification will not result in any environmental impacts substantially greater than those which would occur in the absence of the Substantial Conformance Determination.
Environmental Standards
The Community Development Director or designee may approve minor variations from the Environmental Standards set forth in Section 6 of this Specific Plan, subject to a Substantial Conformance Determination. In making such a determination, the Community Development Director or designee shall first find that the proposed variation provides substantially equivalent environmental protection as the originally approved standard.
Conceptual Plans and Other Specific Plan Provision
Provisions of the Specific Plan including, but not limited to, minor modifications to the conceptual plans attached as Figures 2 to 10, architectural details, landscape palette, building size, height, bulk, and orientation, parking lot layout, and other plan details may be modified utilizing a Substantial Conformance Determination. In making such a determination, the Community Development Director or designee shall be required to find that the revisions requested under a Substantial Conformance Determination are consistent with the provisions of the Apple Valley General Plan, and will not create impacts substantially greater than those that would have resulted from the original approval of the Specific Plan.
A maximum 10 percent modification to permitted lot coverage, setbacks, floor area (other than the maximum allowable with the Specific Plan area site), and fence and wall heights may be permitted subject to a Substantial Conformance Determination by the Community Development Director or designee. In making such a determination, the Community Development Director or designee shall be required to find that the revisions requested under Substantial Conformance Determination are consistent with the provisions of the Apple Valley General Plan, and will not create impacts substantially greater than those that would have resulted from the original approval of the Specific Plan.
The required parking spaces may be reduced by the Community Development Director or designee subject to a Substantial Conformance Determination following preparation of a parking study that demonstrates the proposed reduction in parking spaces is justified based on the mix of uses within the Specific Plan area and the use of shared parking between those uses.
C.
Substantial Conformance Determination
1.
Application
Applications for a Substantial Conformance Determination shall be made on forms provided by the Community Development Director or designee and shall be accompanied by a filing fee. Applications shall be made by the owner of the property for which the approval is sought, or an authorized agent. Each of the Substantial Conformance Determinations required by this Specific Plan can be submitted and processed through one application and a pending application can be updated to include additional Substantial Conformance Determination requests.
2.
Hearing
No public hearing shall be required for a Substantial Conformance Determination.
3.
Action by Reviewing Authority
The reviewing authority for a Substantial Conformance Determination shall be the Community Development Director or designee. The reviewing authority shall take action by providing written notice to the developer approving, conditionally approving, or denying the Substantial Conformance Determination. The action of the Community Development Director or designee shall be final with no appeal.
4.
Findings
The Community Development Director or designee must make a Substantial Conformance Determination if all of the following findings, in addition to those identified above, can be made:
•
The physical characteristics of the site have been adequately assessed, and proposed building sites are of adequate size and shape to accommodate proposed uses and all other features of development;
•
There is supporting infrastructure, existing or available, consistent with the requirements of the Specific Plan, to accommodate the development without significantly lowering service levels;
•
The development resulting from the Substantial Conformance Determination will not have a substantial adverse effect on surrounding property or the permitted use thereof, and will be compatible with the existing and planned land uses, as well as the character of the surrounding area; and
•
The proposed improvements related to the development resulting from the Substantial Conformance Determination adequately address all natural and man-made hazards associated with the proposed development and the Specific Plan area site.
D.
Specific Plan Amendments
1.
Purpose
Amendments to the Specific Plan shall be required for revisions that are beyond the scope of substantial conformance determinations. Specific Plan amendments are governed by Government Code Section 65453.
2.
Process
a.
The Specific Plan may be amended or repealed only by a majority of the voters voting in an election thereon.
b.
Notwithstanding subsection (a), upon application of the fee title holder of the Specific Plan area, the Town Council may amend the Specific Plan to further the purposes of this Specific Plan, but in no case can such amendment reduce or eliminate the parties' obligation to fund, construct, or cause to be funded or constructed, the public benefits or Environmental Standards required.
The Specific Plan includes environmental standards to ensure that development proceeds with appropriate environmental sensitivity. Environmental studies related to health risks, air quality, biological resources, geology and soils, hydrology and water quality, noise, public services and utilities, traffic, urban decay, and cultural resources were conducted for the potential development of the Specific Plan area. Environmental Standards were developed from these environmental studies, along with information from the Town Ordinances, General Plan and any other applicable local, regional, state or federal standards or requirements.
All Environmental Standards shall be implemented in accordance with the Specific Plan's environmental standards and implementation process as outlined in Table 5. The developer of the Specific Plan area shall bear all costs of implementing the Environmental Standards. The Developer shall prepare and submit written report(s) to the Planning Division/Community Development Director demonstrating compliance with the Environmental Standards. The reports(s) must be submitted as required by the Timing requirements, either prior to the commencement of an activity or permit issuance or upon completion of an activity or final inspection/Certificate of Occupancy, as specifically identified for each Environmental Standard. The Planning Division/Community Development Director may also require inspection or other monitoring to ensure compliance with these Environmental Standards.
Table 5
Apple Valley Commercial Specific Plan Environmental Standards
FIGURE 1
FIGURE 2
FIGURE 3
FIGURE 4
FIGURE 5
FIGURE 6
FIGURE 7
FIGURE 8
FIGURE 9
FIGURE 10
40 - Apple Valley Commercial Specific Plan Added by Ord. No. 420
A.
Specific Plan Area
The Apple Valley Commercial Specific Plan (Specific Plan) area is an approximately 30.19 acre site located in the Town of Apple Valley ("Town") in San Bernardino County, California, located north of Happy Trails Highway (SR-18), at the southeasterly corner of the intersection of Dale Evans Parkway and Thunderbird Road. The Specific Plan area is presented in Figure 1.
The land to the north of the Specific Plan area has a General Plan Land Use Designation of Estate Residential (R-E) and is zoned Estate Residential (R-E). The land to the south of the Specific Plan area has a General Plan Land Use Designation of Open Space and a zoning designation of Recreation Open Space (OS-R), and is developed with the Civic Center Park and Aquatics Center. The land to the west of the Specific Plan area has a General Plan Land Use Designation of General Commercial (C-G) and is zoned General Commercial (C-G). The land to the east of the Specific Plan area has a General Plan Land Use Designation of Estate Residential (R-E) and is zoned Estate Residential (R-E). A vacant area of land to the northeast of the Specific Plan Area has a General Plan Land Use Designation of Office-Professional (O-P) and is zoned Office-Professional (O-P).
B.
Purpose of the Specific Plan
A specific plan is a combination policy statement and implementation tool that can be used to address the unique needs of a particular area of a town, city or county. As a result, emphasis is on concrete standards and development criteria for use in the submission and review of subsequent development plans and permits. The California Government Code permits the use of specific plans to regulate site development, including permitted uses such as density, building size, and placement. Specific plans also govern the landscaping and roadways, as well as the provision of infrastructure and utilities. Since the development guidelines established in a Specific Plan focus on the unique needs of a specific area, specific plans allow for greater flexibility than is possible with conventional zoning.
The purpose of the Apple Valley Commercial Specific Plan (Specific Plan) is to assist in the development of the site in a manner that will benefit local shoppers, the general public, and the Town. The Specific Plan accomplishes these purposes by providing for the efficient use of land, ensuring compatibility between existing and proposed land uses, and establishing environmental and development standards and procedures to be met in development of the Specific Plan area. The customized development regulations contained in the Specific Plan address the unique characteristics of the site and surrounding properties, as well as the needs of the commercial land uses proposed for the site. These efforts are intended to foster greater economic development and design opportunities than could be achieved through the use of conventional zoning and development standards.
As used herein, the term "developer" shall mean the current fee title holder(s) within the Specific Plan area.
C.
Specific Plan Area Objectives
The objectives of the Specific Plan are as follows:
•
Provide development consistent with the General Plan, land uses, zoning ordinance and in conformance with municipal standards, codes and policies;
•
Maximize and broaden the Town's sales tax base by providing local and regional tax-generating uses;
•
Provide development that improves and maximizes economic viability of a vacant site by transitioning the Specific Plan area into a productive mix of commercial/retail uses;
•
To provide a retail development that meets the current unmet demand for goods and services from consumers residing in the trade area and future residential developments;
•
To provide a commercial retail shopping center that serves the local market area and beyond, and to attract new customers and retailers into the Town of Apple Valley;
•
To provide goods and services at a local site, thereby reducing the number of trips currently being made to shop for these same goods and services outside the Town of Apple Valley;
•
To expand and provide new retail options, with updated, modern and energy efficient buildings, in close proximity to local customers by providing daytime and nighttime shopping opportunities in a safe and secure environment;
•
Locate a commercial Specific Plan area along a Major Road as identified within the Circulation Element of the General Plan, maximizing access opportunities for the convenience of patrons;
•
To provide convenience-oriented retail sale of food, beverage, and related products and convenience-oriented services to the currently underserved area;
•
Create additional employment-generating opportunities for the town and surrounding area; and
•
Provide (where necessary) adequate infrastructure and public amenities.
D.
Authority
The Specific Plan has been prepared in accordance with Government Code Sections 65450 et seq. and 66450 et seq. and will constitute the zoning for the Specific Plan area. Land use standards and regulations contained within this document shall govern future development within the boundaries of this Specific Plan.
The Specific Plan provides a framework for development of the Specific Plan area. The Specific Plan provides guidance for the review of specific development proposals and is the Town's reference document for determining permitted uses, intensity of use, and development standards and requirements. The Specific Plan defines objectives, as well as regulations and requirements for development of the Specific Plan area.
E.
General Requirements
1.
General Plan Consistency
Implementation of the Specific Plan is intended to carry out the goals and policies contained in the Town of Apple Valley General Plan in an orderly and attractive fashion, and development within the Specific Plan area shall, therefore, be consistent with the provisions of the Apple Valley General Plan.
The Land Use Element of the General Plan currently designates the Specific Plan area as General Commercial (C-G). The C-G land use designation allows a broad range of retail uses, as well as office and service land uses to serve the needs of the Town's residents and businesses, in a shopping center setting. Commercial retail land uses allowed by the Specific Plan are considered to be consistent with the applicable General Plan goals and policies, and will specifically implement the following General Plan goals:
•
Goal 1: The Town shall respect its desert environment.
°
Policy 1.A: The Town will require low water use through drought tolerant and native desert plants for landscaping.
°
Policy 1.C: Natural drainage channels shall be designed with soft bottoms whenever possible.
•
Goal 2: A well planned, orderly development pattern that enhances community values, and assures development of adequate infrastructure.
°
Policy 2.B: All new development and redevelopment proposals shall be required to install all required infrastructure, including roadways and utilities, and shall have complied with requirements for public services prior to occupancy of the project.
°
Policy 2.C: The Town shall require quality design in all development and redevelopment proposals and shall encourage the enhancement of existing development.
•
Goal 3: Minimal impact to existing neighborhoods.
°
Policy 3.B: Specific Plans shall be required for development proposals that include one or more of the following: a) A combination of residential, recreational, commercial and/or industrial land use designation (except in the Mixed Use land use designation); or b) Variations from development standards in the applicable Zone.
•
Goal 6: Commercial development shall strengthen the local economy and enhance the quality of life.
°
Policy 6.A: Commercial development shall be permitted only in areas with provisions for adequate circulation, utilities, infrastructure and public services.
•
Program 6.A.1: Commercial development shall be focused on major roadways, the State Route 18 corridor, the High Desert Corridor, and Interstate 15 as shown on the Land Use Map.
•
Program 6.A.2 Commercial development projects will be required to extend adequate infrastructure, utilities and public services prior to occupancy.
°
Policy 6.B: The Town shall promote commercial and industrial development that are capable of strengthening the local economy and enhancing the quality of life of Town residents.
•
Program 6.B.1: The Development Code will maintain development standards and guidelines which encourage creative, high quality design of commercial projects.
•
Goal 8: Adequate public facilities to meet the needs of the Town's residents, businesses and visitors.
°
Policy 8.A: The Town shall coordinate with all public service providers to assure that adequate services are available to meet the demands of growth in Town.
2.
Relationship Between Specific Plan Development Standards/Criteria and the Town of Apple Valley Development Code
Development regulations and requirements contained in this document will supplement or replace those Town Development Code provisions that might otherwise apply to lands within the Specific Plan area. Any regulations or requirements not specifically covered herein shall be subject to the regulations and requirements of the Town Development Code, design guidelines and engineering standards and other applicable regulations, in addition to all applicable local, state and federal ordinances, laws or regulations.
If any provision of the Specific Plan conflicts with the regulations or requirements of the Town Development Code, the provisions of this document shall take precedence. The procedure for administration of the Specific Plan is set forth in Section 9.40.050.
3.
Conformance with Building Codes
All construction within the Specific Plan shall be in compliance with Title 8 of the Apple Valley Municipal Code.
4.
Provision of Infrastructure
Unless otherwise specifically approved as part of this Specific Plan, all off-site improvements under the control of the Town shall be subject to the Town regulations and requirements in effect at the time improvement plans are submitted. Other improvements not under the control of the Town (e.g., electricity, natural gas, telephone) shall be subject to the regulations and requirements of the responsible agency.
To ensure the cost-effective availability of current and adequate infrastructure and services during the development of the Specific Plan area, infrastructure plans may be modified during the engineering or permit submittal process by the Town Public Works Department/Town Engineer. This modification during the engineering or permit submittal process shall be ministerial, final and not subject to appeal and without the need to amend this Specific Plan.
5.
Severability
If any term, provision, condition, requirement, or portion thereof of this Specific Plan is for any reason held invalid, unenforceable, or unconstitutional, the remainder of this Specific Plan or the application of such term, provision, condition, requirement, or portion thereof to circumstances other than those in which it is held to be invalid, unenforceable, or unconstitutional, shall not be affected thereby; and each other term, provision, condition, requirement, or portion thereof shall be held valid and enforceable to the fullest extent permitted by law.
6.
Costs
The developer shall pay the costs of any code enforcement activities, including attorney's fees, resulting in the violation of any provisions of the Town Ordinances, including the Specific Plan. The developer shall be responsible for the entire cost to implement the Environmental Standards in accordance with Section 9.40.060 of this Specific Plan.
7.
Consent to Hold Harmless
The developer shall agree to defend, at its sole expense (with attorneys approved by the Town), hold harmless and indemnify the Town, its agents, officers and employees, against any action brought against the Town, its agents, officers or employees concerning the approval of this Specific Plan or the implementation or performance thereof, and from any judgment, court costs and attorney's fees which the Town, its agents, officers or employees may be required to pay as a result of such action. The Town may, at its sole discretion, participate in the defense of any such action, but such participation shall not relieve the developer of this obligation under this Section.
8.
Fees
All development under this Specific Plan will be required to pay all applicable fees at the time those applicable fees are due, including, but not limited to Development Traffic Impact Fees, Fire Fees, Drainage and School Impact Fees as established by Town Ordinance No. 294, and Park and Recreation Department Fees under the Quimby Ordinance.
In addition, should the Specific Plan area lie within any additional assessment or benefit district, the developer shall, prior to issuance of a building permit, make application for and pay for the reapportionment of the assessments or pay the unit fees in the benefit district unless said fees are deferred to building permit issuance.
All development under this Specific Plan is required to pay all applicable permit application and review fees, including but not limited to, building permits, grading permits, encroachment permits and other filing fees.
A.
Site Conditions and Existing Land Uses).
1.
Historical and Existing Land Uses
Historical Land Use
The Specific Plan area is currently vacant and undeveloped with structures, and is scattered with native vegetation including 22 Joshua Trees. The eastern edge of the original Apple Valley Airport (closed in 1972) was on the northernmost portion of the Specific Plan area.
Existing On-Site General Plan Land Use and Zoning
The Town of Apple Valley General Plan designated the Specific Plan area as General Commercial (C-G). The C-G land use designation allows a broad range of retail uses, as well as office and service land uses to serve the needs of the Town's residents and businesses, in a shopping center setting. General retail stores, including all types of consumer goods, furniture and appliance sales, auto repair and sales are permitted in this designation. Restaurants, both sit-down and fast food, gasoline service stations and general office (secondary to retail uses) are also permitted in this designation.
The zoning of the Specific Plan Area is General Commercial (C-G). This zone is intended for the development of a full range of retail stores, offices and personal and business services, including shopping centers along major roadways. Permitted uses include general commercial retail sales, grocery stores, restaurants and convenience stores, along with the sale of alcoholic beverages for off-site consumption. Conditionally permitted uses include minor automotive repair. A Special Use Permit is also required for drive-up or drive-through uses.
Surrounding Land Uses
The Specific Plan area is adjacent to an established single-family residential neighborhood that is located to the northeast and southeast of the subject site within the Estate Residential (R-E) zoning designation. The property to the south is within the Open Space Recreational (OS-R) zoning designation and is developed with the Civic Center Park and Aquatics Center. The zoning designation to the west, across Dale Evans Parkway, is General Commercial (C-G) and contains the Apple Valley Commons retail center, which includes a Super Target and other retailers, services and fast food restaurants. The former Lowe's Home Improvement center is located north of the Super Target. The Specific Plan area has approximately 1,850 feet of street frontage along Dale Evans Parkway.
B.
Existing Circulation
1.
Regional Circulation
Regional access to the Specific Plan area is provided by the Happy Trails Highway (State Route 18), which connects with the City of Victorville and the Lucerne Valley and Big Bear areas, and is currently a four-lane limited-access roadway that runs in a diagonal alignment (northwest to southeast) in the Specific Plan area vicinity.
2.
Local Circulation
Major roadways in and around the Specific Plan area, in addition to State Route 18, are Dale Evans Parkway and Thunderbird Road.
Dale Evans Parkway is a four-lane, generally north-south arterial roadway which terminates at Happy Trails Highway to the south of the Specific Plan area. To the north of Thunderbird Road, Dale Evans Parkway is a two-lane roadway with a center two-way left-turn lane, which serves residential areas. Dale Evans Parkway is designated as a Major Road within the Town of Apple Valley General Plan Circulation Element, with 104 feet of right-of-way between Happy Trails Highway and Thunderbird Road. It is also designated as a Local Truck Route between Happy Trails Highway and Waalew Road.
Thunderbird Road is an east-west roadway north of the Specific Plan area. It is currently an unimproved two-lane roadway, primarily serving residential areas. It is designated as a Major Road in the Town of Apple Valley General Plan Circulation Element, with 104 feet of right-of-way at buildout. It is also designated as a Local Truck Route between Dale Evans Parkway and Central Road.
3.
Public Transit
The Specific Plan area will include the construction of a bus stop, and will coordinate with local transit providers to ensure transit opportunities are provided to and from the Specific Plan area.
Victor Valley Transit Authority (VVTA) currently provides regular bus service along Happy Trails Highway (SR-18). VVTA's schedule currently indicates a regular stop to the north of the Specific Plan area at the intersection of Dale Evans Parkway and Thunderbird Road, as part of Fixed Route 40, with hourly stops from 6:18 a.m. through 8:18 p.m. Monday to Friday, and at 7:18 a.m. through 7:18 p.m. on Saturday. An additional bus stop is located to the south of the Project site at the intersection of Dale Evans Parkway and Outer Highway 18 as part of Fixed Route 41. This "timepoint," or major bus stop, occurs at hourly intervals between 6:08 a.m. and 8:08 p.m. Monday through Friday, and at 7:08 a.m. through 7:08 p.m. on Saturday. Bus services are not currently available on Sundays.
4.
Bicycle Facilities.
Racks for parking and securing bicycles adjacent to Specific Plan area entrances will be provided consistent with Town of Apple Valley requirements, allowing for patrons and employees to bicycle to the Specific Plan and adjacent areas.
C.
Existing Physical Conditions
1.
Topography
The Specific Plan area is located in the Town of Apple Valley. The Specific Plan area is, and has been historically vacant and undeveloped, and contains native desert vegetation. The elevation of the Specific Plan area is approximately 2,900 feet above mean sea level (MSL) and is relatively level, sloping gently to the northeast, with no substantive grade changes.
2.
Hydrology
The topography of the Specific Plan area results in an overland flow with an ultimate discharge onto Dale Evans Parkway. The Specific Plan area also collects approximately 2.60-acres of runoff from a portion of Dale Evans Parkway.
3.
Soils
The soils within the Specific Plan area consist of Quaternary-age alluvium deposits to the maximum explored depth of 51.5 feet below existing ground surface. The alluvial deposits consist of about three to seven feet layers consisting of various mixtures of sand, silt, and clay cemented by calcium carbonate (caliche),underlain by layers of silty sand, sandy silt and sand with gravel, and various amount of caliche.
4.
Seismicity
The Specific Plan area, like most of California, is located within a seismically active area. However, no known active faults have been identified as projecting toward or extending across the Specific Plan area.
5.
Hazardous Materials
The Specific Plan area has been historically vacant and has never been developed with structures. Although the Specific Plan area was formerly part of the Apple Valley Airport, the airport facilities were located to the west and the Specific Plan area remained relatively undisturbed. No hazardous materials have been identified within the Specific Plan area and the overall potential for discovering any hazardous material during development of the Specific Plan area is low.
6.
Biological Resources
The Specific Plan area is located in the Mojave Desert and is not within any waterway. No riparian habitat or federally protected wetland has been identified within or adjacent to the Specific Plan area. Urbanization of the area has precluded any meaningful function of the area as cohesive habitat or as a potential corridor for wildlife movement. Additionally, the Specific Plan area lies within the boundaries of the proposed West Mojave Habitat Conservation Plan (WMHCP). Should the WMHCP be adopted prior to approval of the Specific Plan, any development within the Specific Plan area would be subject to, and will comply with, any applicable WMHCP permitting and/or mitigation fee requirements.
The dominant plant community within the Specific Plan area is Mojave Desert scrub. This community is characterized by widely spaced shrubs separated by bare ground. The most common plant species occurring within this community are bursage (Ambrosia dumosa), and cheesebush (Hymenoclea salsola). Occasional Joshua trees (Yucca brevifolia) also occur within the Specific Plan area. The number of Joshua trees within the Specific Plan area is estimated at 22, which have been surveyed and evaluated consistent with Town requirements.
One special status species, the burrowing owl, is determined to be present within the Specific Plan area. The burrowing owl is the only sensitive wildlife species that would be affected by implementation of the Specific Plan. At present, at least one owl is considered to be resident within the Specific Plan area, and impacts to the burrowing owl are determined to be potentially significant based on owl displacement that will occur as a result of Specific Plan implementation. Environmental Standards ES 4.8.1 to 4.8.4 will mitigate these potential impacts to the burrowing owl.
D.
Existing Utilities
1.
Water
The Specific Plan area will receive potable water from the Apple Valley Ranchos Water Company (AVRWC). AVWRC has a water supply network that as of 2005 includes 22 wells with a pumping capacity of approximately 31.7 million gallons per day, 350 miles of pipe and 8.6 million gallons of storage.
The Specific Plan area and the AVRWC service area lie within the jurisdiction of the Mojave Water Agency (MWA). Water producers within the MWA service area, including AVRWC, rely on groundwater extraction from the Mojave River Basin (Basin) as their primary source of water supply. Groundwater resources available to Basin purveyors constitute a portion of regional groundwater allocations that were determined through the Basin's adjudication, which was designed to bring about a Basin-wide balance in water supplies and consumption, and to restore and maintain available groundwater resources. The MWA is the entity charged with implementing Basin adjudication, and to this end, has developed a Basin-wide Regional Water Management Plan. The MWA is responsible for managing groundwater resources in the Basin, and providing alternate water sources to the region as needed. In this latter regard, the MWA is one of 29 State Water Project (SWP) contractors permitted to deliver water from the California Aqueduct. SWP water imported by the MWA is available to Basin water purveyors whose extractions may exceed their adjudicated allowance. All proposed water system improvements will be designed and constructed to the satisfaction of the Town and the Apple Valley Ranchos Water Company.
2.
Wastewater
The Specific Plan area will be provided wastewater service by the Town of Apple Valley Wastewater Division (which is responsible for wastewater collection), and the Victor Valley Wastewater Reclamation Authority (VVWRA), which is responsible for wastewater treatment. Currently, VVWRA's regional treatment plant has the capacity to provide primary, secondary, and tertiary wastewater treatment for approximately 14.5 million gallons per day (MGD) and a planned ultimate expansion capacity of 18 MGD.
3.
Solid Waste Disposal
The Specific Plan area lies within the service area of AVCO Waste Management Company (a Burrtec subsidiary), which provides solid waste disposal services throughout San Bernardino County. Solid waste generated from the Specific Plan area could be disposed of at any of the six regional landfills in the area, although it is anticipated that such waste will be transported to, and disposed of at, the Victorville Regional Sanitary Landfill. The estimated closure date of this landfill is 2059.
4.
Natural Gas
Southwest Gas will provide natural gas service to the Specific Plan area.
5.
Electricity
Southern California Edison will provide electricity service to the Specific Plan area.
6.
Telephone and Communications
Various private services will provide telephone and communication services to the Specific Plan area.
A.
Land Use Concept
The overall land use concept for the Specific Plan is to create an integrated retail shopping complex that can take advantage of the Specific Plan area's location along a Major Road. The Specific Plan will improve the aesthetic and commercial landscape of the surrounding area by allowing for the transformation of vacant acreage into an attractive and productive blend of retail and service establishments. Development within the Specific Plan area is intended to function as a single, integrated retail center providing for community oriented uses with a community-wide market base. Figures 2 and 3 illustrate the Conceptual Site Plan for the Specific Plan. As discussed in more detail in Section 9.40.050, any and all subsequent approvals and permits required for development of the Specific Plan shall be ministerial and not appealable.
1.
Uses Allowed By Right
Table 1 establishes the permitted uses for the Apple Valley Commercial Specific Plan area. Ancillary and accessory uses, if proposed, will be reviewed concurrently with any application for development submitted. Ancillary and accessory uses that are not specifically listed as permitted may be approved subject to determination of substantial conformance as set forth in Section 9.40.050.
Table 1 Permitted Uses
Note: *24-hour operations permitted as-of-right. 24-hour operations may be permitted for other uses if the Community Development Director determines such a use substantially conforms with the provisions of the Apple Valley Commercial Specific Plan.
B.
Site Development Standards
1.
Land and Structure Regulations
Table 2 establishes the land and structure regulations for the Specific Plan:
Table 2. Land and Structure Regulations
2.
Specific Use Standards and Guidelines.
A.
Amusement Devices and Video Arcades
The following additional standards and guidelines shall apply to amusement devices and video arcades within the Specific Plan area:
1.
Amusement Devices
a.
Up to five amusement devices, not to exceed ten percent of the public floor area, may be permitted per business without being considered an arcade and thus subject to the additional standards subject to arcades.
b.
The amusement devices shall not obstruct entries, exits, aisles, doorways, bicycle parking facilities or other pedestrian areas.
c.
Adult supervision is required and the amusement devices shall be placed in an area that is visible to the supervisor at all times.
d.
At least one bicycle parking space shall be provided for each amusement device.
2.
Arcades
The following additional standards and guidelines shall apply to video arcades within the Specific Plan area, which are defined as locations containing more than five amusement devices:
a.
Adult Supervision. An adult supervisor shall be located on a raised dais located to facilitate the observation of all games and all areas of business in the arcade. The adult supervisor shall be present at all times during the hours of operation, and, if the number of amusement devices exceeds forty, there shall be two adult supervisors.
b.
Bicycle Racks. Bicycle storage racks shall be provided in accordance with Chapter 9.72, Off-Street Parking and Loading Regulations, of the Development Code.
c.
Hours of Operation. The hours of operation of arcades shall be limited to between the hours of 8:00 a.m. and 12:00 a.m. Sunday through Thursday and 8:00 a.m. to 2:00 a.m. Friday and Saturday. Hours may be more restrictive adjacent to residential districts.
d.
Lighting. All arcades shall be fully lighted to the extent that all areas of the premises are easily observable.
e.
Litter. The premises shall be continuously maintained in a safe, clean and orderly condition with trash receptacles provided.
f.
Maximum Number of Machines. The maximum number of games shall not exceed one machine per each 30 square feet of public floor area.
g.
Noise. The sound created by any arcade or by its patrons shall not be detectable from outside the video arcade or from adjacent uses, and shall comply with the provisions of Chapter 9.70, Performance Standards, of the Development Code.
h.
On-site Security. After review by the Town's Police Chief, a determination may be made that on-site security may be required based on the following:
1.
The square footage of the arcade;
2.
Expected customer attendance;
3.
Design of the interior and/or exterior of the arcade;
4.
The nature and character of the neighborhood and the surrounding area;
5.
The location of the arcade within a shopping center and the effects thereof;
6.
The building occupancy limit; and
7.
The nature and character of adjacent uses and other uses in the area.
i.
Smoking and Drinking. Alcoholic beverages or cigarettes shall not be sold or consumed on the premises of the arcade, except that alcoholic beverages or cigarettes may be sold in connection with a retail business of which the arcade is an accessory use. Appropriate signs shall be displayed within the premises.
j.
Telephone. At least one public telephone shall be provided at each arcade.
B.
Automated Teller Machines
The following additional standards and guidelines shall apply to automated teller machines within the Specific Plan area:
1.
Automatic Teller Machines (ATMs) shall be installed in accordance with State law.
2.
The following safety features shall be provided:
a.
Lighting during hours of darkness for the ATM and any defined parking area, access area and the exterior of an enclosed ATM installation;
b.
A minimum of ten-candlefoot power at the face of the ATM, extending five feet outward, unobstructed;
c.
A minimum of two-candlefoot power within 50 feet from all directions, unobstructed. If the ATM is located within ten feet of the corner of the building and the ATM is generally accessible from the adjacent side, a minimum of two-candlefoot power along the first 40 feet, unobstructed, of the adjacent side of the building;
d.
A minimum of two-candlefoot power in that portion of the defined parking area within 60 feet of the ATM.
e.
ATMs shall face a parking lot or thoroughfare.
C.
Automotive Repair and Tire Sales
The following additional standards and guidelines shall apply to automotive repair and tire sales within the Specific Plan area:
1.
Hours of Operation. Any automotive repair or tire-lube facility shall be limited to the hours of 7:00 a.m. to 8:00 p.m. daily.
2.
Enclosures. Repair facilities for body and fender work or similar noise-generating activities shall be conducted in fully-enclosed structures with walls of concrete block or similar materials. All painting shall occur within an approved fully enclosed booth.
3.
Hazardous Material. Any handling, treatment, storage or use of hazardous material shall be in conformance with Chapter 9.70, Performance Standards, of the Development Code, and the operator of such facility shall legally dispose of all motor oil and other hazardous substances in accordance to the requirements and satisfaction of the County Health Care Agency. The Developer shall be responsible for taking appropriate corrective action to address any surface contamination as required for any accidental spills, as required to the satisfaction of the County Department of Health Services.
4.
Litter. The premises shall be kept in a neat and orderly condition at all times. Improvements shall be maintained in a condition of reasonable repair and appearance. Used or discarded automotive parts or equipment or permanently disabled, junked or wrecked vehicles may be stored outside the main building, in locations not visible from any adjacent property or any public right-of-way.
5.
Paving. All areas of the site not used for buildings and landscaping shall be paved.
6.
Repair Activities. All repair activities and operations shall be conducted entirely within an enclosed building, except that service bay doors may be open during business hours. Outdoor service bays, hoists or lifts are prohibited. No vehicle service shall take place in any parking space or drive aisle or partially protruding into a parking space, stacking area or drive aisle.
7.
Service Bays. Service bay doors shall not face adjacent residential uses or districts.
8.
Storage. Exterior parking areas shall be used for employee and customer parking only, not for the repair or finishing work or long term (more than one week) storage of vehicles. Vehicles to be repaired shall not be parked or stored in any street or alley. The storage of junk or permanently disabled or wrecked automobiles shall not be permitted. Used or discarded automotive parts or equipment shall not be located outside of the structure except within the designated trash storage area. No inoperative vehicles shall be permitted to be parked or stored on the site outside the building, including marked parking spaces.
9.
Noise. Exterior public address systems and music shall be prohibited.
D.
Drive-in/Drive-Thru Restaurants
The following additional standards and guidelines shall apply to Drive-in and Drive-Thru restaurants within the Specific Plan area:
1.
Drive-in/Drive-thru Stacking Space. Stacking lanes for drive-in/drive-thru customers shall be of sufficient length to hold at least six vehicles (twenty -foot in length per vehicle) for a minimal total staking length of 120 feet. On-site driveways may be used for stacking space provided that access to required parking spaces is not obstructed, as shown on Figure 9.36.140-A of the Development Code.
a.
Drive-in, drive-thru, delivery or take-out restaurant sites shall have two points of ingress/egress either to a public street system or to an interior parking lot circulation system which serves a group of businesses subject to approval of the Town Engineer.
b.
Vehicle entrances to drive-thru businesses shall be located a minimum of 150 feet, 200 feet is preferred, from the nearest intersection.
c.
Drive-thru facilities shall be provided separate queuing and circulation for drive-thru traffic to insure access for other traffic to parking spaces or exits without waiting in drive-thru service lanes.
d.
Drive-thru facilities shall be provided screening and protection from sun and wind through the use of special landscape and architectural treatments such as berming and bays around the drive aisle.
e.
Drive-thru facilities shall provide a minimum of ten feet of landscaping at the corners between adjacent streets.
f.
Drive through stacking lanes shall be appropriately striped to designate the drive-through or with directional signs identifying the drive-through lanes, subject to review and approval of the Community Development Director. This review and approval is ministerial and may not be appealed.
2.
Landscaping. Berming and landscaping shall be provided to screen the entire drive-thru area. A combination of a low decorative wall and landscape berm shall provide a buffer of the drive-through lanes and windows that are adjacent from Dale Evans Parkway and parking lot. Landscaping shall be installed and permanently maintained in compliance with Chapter 9.75, Water Conservation/Landscaping Regulations, of the Development Code.
3.
Lighting. All on-site lighting shall comply with Chapter 9.70, Performance Standards, of the Development Code.
4.
Menu Boards. Placement of menu boards for the drive-through facilities shall be received and approved by the Planning Division prior to issuance of building permits. The placement of the menu boards shall be sensitive to the view of the street and the potential noise generate by the noise generated by the signs in relation to the adjacent single-family neighborhood.
5.
Noise. Drive-in, drive thru, delivery or take-out restaurants shall comply with the provisions of Chapter 9.70, Performance Standards, of the Development Code.
6.
Parking. A parking and vehicular circulation plan encompassing adjoining streets, alleys and uses shall be submitted for the review and approval of the Town Engineer prior to the issuance of building permits. This review and approval is ministerial and may not be appealed. In addition, all on-site parking shall comply with Chapter 9.72, Off-Street Parking and Loading Regulations, of the Development Code.
7.
Signs. All on-site signs shall comply with the signage requirements for the Specific Plan area.
8.
Trash Enclosures. Trash enclosures shall be provided in accordance with the provisions contained in Section 9.35.090, Trash Enclosures, of the Development Code.
E.
Outdoor Displays, Sales and Uses.
The following additional standards and guidelines shall apply to the outdoor display and sale of merchandise within the Specific Plan area:
1.
The merchandise on display, or for sale, shall be located outside of an enclosed building only during the business hours of the related or associated business.
2.
All merchandise displayed or made available outside an enclosed building shall consist of new items, collectables and/or antiques (as defined herein) and new hand-made crafts. No second-hand or previously used items (except antiques and collectables) shall be displayed or allowed for sale outside of an enclosed building. No items shall be displayed upon the ground, except those items which, by their nature (such as antique furniture), are too large or too heavy to be placed upon a display table.
3.
Any outdoor storage shall be enclosed within the walls of the building (without a roof) to provide a screen so that the storage of materials and the staging area is not visible from public view. The truck loading bays at the northeast corner of the building shall also be enclosed with the walls of the building to provide a screen from public view from the west. The access to the outdoor storage and staging/loading areas can be gates made of tubular steel.
4.
All merchandise displayed or made available outside an enclosed building shall not obstruct the entrance/exit to the development or any building, drive isle, driveway, emergency isle or exit or required parking spaces. Said merchandise shall not be placed in or be allowed to damage or negatively impact landscaped areas on site.
5.
All merchandise displayed or made available outside of an enclosed building shall not be placed in a manner so as to become a visual distraction to motorists or pedestrians using the public right-of-way, or interfere with traffic signals or controls.
6.
The merchandise displayed or made available for sale outside an enclosed building shall not interfere with, or impede the flow of, pedestrian or vehicular traffic, on, within or through the site.
7.
No items, or any portion of a displayed item, shall be displayed in the public right-of-way.
F.
Recycling Facilities
1.
Reverse Vending Machines
Reverse vending machines within the Specific Plan area shall comply with all other standards of the Specific Plan in addition to the following criteria:
a.
Machines shall be established in conjunction with a commercial use or community service facility that is in compliance with this Development Code and the building and fire codes of the Town;
b.
Machines shall not occupy parking spaces required by the primary use;
c.
Machines shall occupy no more than 50 square feet of floor space per installation, including any protective enclosure, and shall be no more than eight feet in height;
d.
Machines shall be constructed and maintained with durable, waterproof and rustproof material;
e.
Machines shall be clearly marked to identify the type of material to be deposited, operating instructions, and the identity and phone number of the operator or responsible person to call if the machine is inoperative;
f.
Machines shall have a sign area of a maximum of four square feet per machine, exclusive of operating instructions;
g.
Machines shall be maintained in a clean, sanitary and litter-free condition on a daily basis;
h.
Operating hours shall be consistent with the primary use;
i.
Machines shall be illuminated to insure comfortable and safe operation if the operating hours are between dusk and dawn;
j.
Machines shall maintain an adequate on-site refuse container for disposal of nonhazardous waste.
2.
Small Collection Facilities
Small collection facilities shall comply with the standards of the Specific Plan and the following criteria:
a.
Facilities shall be established in conjunction with a commercial use or community service facility that is in compliance with the Town Development Code, building and fire codes;
b.
Facilities shall be no larger than 500 square feet and occupy no more than five parking spaces, not including space that will be periodically needed for removal of materials or exchange of containers;
c.
Facilities shall be set back at least ten feet from any property line and shall not obstruct pedestrian or vehicular traffic;
d.
Facilities shall accept only glass, metals, plastic containers, papers and reusable items;
e.
Facilities shall use no power-driven processing equipment except reverse vending machines;
f.
Facilities shall use containers that are:
1.
Constructed and maintained with durable waterproof and rustproof material;
2.
Covered when the site is not attended;
3.
Secured from unauthorized entry or removal of material; and
4.
of sufficient capacity to accommodate materials collected and the collection schedule.
g.
All recyclable material shall be stored in containers or in the mobile unit vehicle and shall not be left outside of containers when the attendant is not present;
h.
Facilities shall be maintained in a clean and sanitary manner free of litter and any other undesirable material;
i.
Noise levels shall not exceed 65 dba as measured at the property lines of adjacent residential uses or districts;
j.
Facilities shall not be located within 100 feet of any residential use or district;
k.
Collection containers shall be clearly marked to identify the type of material that may be deposited, to identify the name and phone number of the operator of the facility, the hours of operation, and to display a notice that no material shall be left outside the recycling enclosure or containers;
l.
Signs may be provided as follows: 1) Recycling facilities may have identification signs with a maximum area of 15 percent per side of a structure or 16 square feet, whichever is larger. In the case of a wheeled facility, the side shall be measured from the ground to the top of the container; 2) Signs shall be compatible with existing signs at the location; 3) Directional signs, with no advertising message, may be installed with the approval of the Director if necessary to facilitate traffic circulation or if the facility is not visible from the public right-of-way;
m.
The recycling facility shall not harm or interfere with the required landscaping on the site;
n.
No additional parking spaces shall be required for customers of a small collection facility located within the established parking lot of the primary use. One space will be provided for the attendant, if necessary;
o.
An area for mobile recycling units shall be clearly marked to prohibit other vehicular parking during the hours when the mobile unit is scheduled to be present;
p.
Occupation of parking spaces by the recycling facility and by the attendant shall not reduce the available parking spaces below the minimum number required by the primary use unless the following conditions exist: 1) A parking study shows that existing parking capacity is not fully utilized during the time that the recycling facility will be on the site; 2) The approval will be reconsidered after 18 months;
q.
Facilities shall maintain an adequate on-site refuse container for disposal of nonhazardous waste.
G.
Service (Gasoline) Stations
The following additional standards and guidelines shall apply to service and gasoline stations within the Specific Plan area:
1.
Buildings or structures shall not be located within 20 feet of any street right-of-way, or within five feet of any interior property line.
2.
Fuel pump islands shall be designed to minimize traffic conflicts. Gasoline pumps shall be at least 20 feet from any property line.
3.
Canopies shall be at least ten feet from any property line and shall be architecturally integrated with, the main structure.
4.
Service stations shall be compatible with adjacent commercial developments through the use of compatible materials, textures, colors, landscaping treatment and access.
5.
Screening and buffering shall be in accordance with Chapter 9.37, Commercial and Office Districts Design Standards, of the Development Code. In addition, service stations shall be separated from adjacent residential district or use by a minimum six-foot high decorative masonry wall. Materials, texture, color and design of the wall shall be compatible with on-site and adjacent development.
6.
Landscaping shall be installed and permanently maintained in compliance with Chapter 9.75, Water Conservation/Landscaping Regulations, of the Development Code, and the following:
a.
A minimum of ten percent of the site shall be landscaped, including a minimum three-foot wide planting strip along all interior property lines and adjacent to buildings. Landscaped areas shall be surrounded by a concrete curb to preclude vehicles from driving over the sidewalk at other than access driveways. Permanent opaque landscaping or berming shall be maintained in street frontage landscaped areas at a minimum height of three feet, except in any driveway or intersection clear sight triangle.
b.
A minimum of 150 square feet of landscaped area shall be provided at the intersection of two property lines at a street corner.
c.
All landscaped areas shall be maintained in a neat, orderly and safe manner. Such landscaping and maintenance shall include, but is not limited to, the installation and use of an automatic irrigation system, permanently and completely installed so as to deliver water directly to all landscaped areas.
7.
One driveway, with a maximum width of 32 feet, shall be permitted on any one street frontage and shall be located as follows:
a.
Driveways shall not be located closer than 150 feet from the intersection of major roads and 100 feet for other roads from the beginning curb return of a street intersection or 25 feet from a residential property line or alley. Driveways shall not interfere with the movement and safety of vehicular and pedestrian traffic. Any deviation requires the written approval of the Town Engineer.
b.
All lubrication and wash racks shall be located within a fully enclosed building. Access to the service bays and wash racks shall not be located within 50 feet of a residential use or district.
8.
All service stations shall provide air and water to customers.
9.
All service stations shall provide at least one men's and one women's restroom. Restrooms shall be accessible to the general public and to the physically disabled during normal operating hours.
10.
Coin-operated vending machines shall not be allowed outside a structure for the purpose of dispensing items commonly found in a service station, such as refreshments and maps.
11.
All repair and service activities and operations shall be conducted entirely within a fully enclosed building, except as follows:
a.
The dispensing of petroleum products, water and air; and
b.
The replacement of items such as wiper blades, fuses, radiator caps and lamps.
12.
Trash enclosures shall be provided in accordance with the provisions contained in Section 9.35.090, Trash Enclosures, of the Development Code.
13.
All service stations shall, at all times, be operated in a manner not detrimental to surrounding properties or residents. Site activities shall comply with Chapter 9.70, Performance Standards, of the Development Code, and shall not produce any of the following:
a.
Damage or nuisance from noise, smoke, odor, dust, or vibration;
b.
Hazard from explosion, contamination, or fire; or
c.
Hazard occasioned by the unusual volume or character of traffic, or the congregating of a large number of people or vehicles.
14.
All service stations selling alcoholic beverages shall conspicuously post the premises with signs prohibiting the consumption of alcoholic beverages on-site.
In addition, the following accessory uses to service stations are permitted within the Specific Plan area:
a.
Vehicle washing and lubricating services;
b.
The sale and servicing of tires, batteries, replacement items and other automotive accessories;
c.
Minor automotive repair;
d.
Towing service limited to two tow trucks; and
e.
The rental of trailers and trucks shall be permitted as an accessory use subject to the following:
1.
The rental equipment does not occupy or interfere with the required parking for the service station;
2.
The rental operation is clearly incidental to and secondary to the primary use;
3.
Rental equipment shall not obstruct vehicle or pedestrian access or line-of-sight;
4.
Screening and buffering shall be in accordance with Chapter 9.37, Commercial and Office Districts Design Standards, of the Development Code.
5.
Service stations that remain vacant or cease operations for more than 180 days shall be required to have all underground storage tanks (unless waived in writing by the Apple Valley Fire District and the San Bernardino County Environmental Health Services Department), all gasoline pumps and pump islands, and free-standing canopies, removed. This requirement does not apply to tanks that have never been utilized for fuel storage.
6.
If the service station is to resume operation after one year, the approval of a Special Use Permit is required,
7.
Converted Service Stations. Service station sites and buildings which are proposed for conversion to another use are subject to the approval of a Conditional Use Permit.
3.
General Design Concepts
Within the Specific Plan, general design concepts address the nature and function of the use, building, or feature being considered.
The Specific Plan proposes to use certain architectural elements that complement the design of the Apple Valley Commons shopping center to the west of the Specific Plan area, as shown on Figures 4 and 5 (Exterior Elevations). This commercial center incorporates a contemporary Spanish style, utilizing matching materials and color schemes and creating an overall uniform theme for the center. The proposed materials include terracotta "S" roof tiles, plaster walls, stone veneer and cornice moldings. The proposed Specific Plan design concept replicates the varied roof lines and tower element, window design, arches and covered trellis details of the buildings within the Apple Valley Commons Shopping Center. A variety of earth tone colors are proposed, which include shades of tan and brown that are compatible with the adjacent center. Architectural accents, such as precast concrete medallions, decorative tile and stone veneer, will provide Spanish details to all buildings proposed within the Specific Plan area.
The Major Tenant building within the Specific Plan has been designed with strong architectural elements and vertical features, as shown on Figures 4 and 5 (Exterior Elevations). The facades of the building are broken up with a variety of architectural elements, including pop-outs, reveals, covered trellises, and covered walkways. The wall planes of the building are staggered and the parapet roof line of the structure varies in height and style to add to the visual interest of the building. The varied roof heights and staggered footprints also provide character to the design of the center. Similar designs will be carried out on the freestanding buildings within the Specific Plan area, but at a smaller scale. The height of any architectural element/feature shall not exceed a height of 42 feet.
The Specific Plan will provide pedestrian focal points and gathering places. A pedestrian plaza area, with convenient access to the Civic Center Park, is south of the proposed anchor tenant building. This open space plaza area will provide a gathering place for patrons and employees to sit and enjoy the outdoor setting. This plaza is architecturally enhanced with decorative trellis features and landscaping. This complies with Section 9.37.050(D) (2) of the Development Code, which requires projects larger than five acres to "include a hardscape element which creates a focus for the development and creates a usable public open space amenity such as a plaza or arbor center."
4.
Landscaping
The quality environment envisioned for the Specific Plan will be established, in large part, by its landscape treatment. Landscaping is to be designed to highlight positive visual features, to screen negative ones, and to provide a cool, pleasant outdoor environment. Landscaping is also intended to give structure and identity to the overall development in the Specific Plan, and will substantially conform to the design shown on Figures 6 through 8. The following landscaping standards shall be adhered to:
a.
All slopes over three feet in height shall be landscaped and irrigated according to Town standards.
b.
Any protected desert plants or Joshua Trees impacted by development are subject to the regulations specified in Section 9.76.020 (Plant Protection and Management) of the Development Code. The Joshua Trees on site shall be relocated to a landscape planting area on site.
c.
Final landscape and irrigation plans shall be submitted prior to the issuance of Building permits and installed prior to issuance of occupancy permits, subject to approval by the Planning Division. Approval of landscape and irrigation plans shall be ministerial and not appealable. A report from a licensed landscape architect shall be provided describing the types of trees proposed and their ability to sustain and grow within the high desert climate. In addition, this report shall provide a water budget that complies with the Town of Apple Valley Landscape Irrigation Ordinance and State of California's Water Efficiency Landscape Ordinance.
d.
Landscaping shall be installed with appropriate combinations of drought tolerant trees, shrubs, and ground cover, consistent with Chapter 9.75, Water Conservation Landscape Regulations, of the Development Code.
e.
The minimum tree within the center shall be a 24-inch box size specimen. At least one-half of the accent trees located in the areas of the entrances to the site shall be a minimum of 48-inch box size specimen.
f.
All front building setbacks and street right-of-way areas located between on-site improvements and the back of existing or future public sidewalks or street curbs, except needed access driveways, shall be fully landscaped.
g.
All required and installed landscaping shall incorporate and maintain a functioning automatic sprinkler system, and said landscaping shall be maintained in a neat, orderly, disease and weed free manner at all times.
5.
On-Site Circulation and Parking
On-Site Circulation
The on-site circulation standards within the Specific Plan will ensure the efficient and safe passage of vehicles and pedestrians to and from the various commercial uses within the Specific Plan area. On-site circulation within the Specific Plan area shall adhere to the following requirements:
a.
Prior to occupancy, an agreement to grant reciprocal vehicular and pedestrian ingress, egress, parking and circulation access shall be recorded to extend over and across those areas designated as driveways, driving lanes and pedestrian walkways of the respective parcel and with the future development or use to the southwest (APN 3112-251-07). If the southwest parcel has not submitted plans for development at the time of occupancy, the reciprocal agreement can include a public easement for the purposes of vehicular and pedestrian ingress, egress and parking. Submittal for review of the reciprocal agreement must be provided to the Planning Division prior to recordation. Proof of recordation shall be provided prior to issuance of a Certificate of Occupancy.
b.
Bricks, pavers or decorative stamped concrete shall be used to accent and highlight street entries, main travel lanes and pedestrian walkways in parking areas or focal areas.
c.
All litter shall be removed from the exterior area around the premises including adjacent public sidewalk areas and parking areas no less frequently than once each day that the business is open.
Parking
a.
Parking requirements shall be met and be in compliance with the standards set forth in Chapter 9.72 of the Town Development Code. All parking stalls shall be clearly striped and permanently maintained with double or hairpin lines. A maximum of 1,218 parking stalls shall be provided within the Specific Plan area.
b.
Required parking spaces shall be provided for the handicapped in accordance with Town standards and in accordance with Title 24 of the California Administrative Code. The handicapped spaces shall be located as close as practical to the entrance of the center. Each space must be provided with access ramps and clearly marked in accordance with Title 24 of the California Administrative Code.
6.
Signage
All identification signs shall have a separate permit and are subject to final approval by the Town Planning Division. Review and approval of a sign permit is ministerial and not appealable. In addition, the following standards and guidelines shall apply to on-site signage within the Specific Plan area:
a.
Pylon Signs/Monument Signs
The on-site signage for the Specific Plan area shall include the construction of one pylon sign and three monument signs along Dale Evans Parkway. Two monument signs may be no more than six feet in height, one monument sign may be no more than 15 feet in height, and the pylon sign may be no more than 25 feet in height. Pylon signs must be separated by 200 feet. Both of the monument signs located at each of the two entrances along Dale Evans Parkway shall be located a minimum of 50 feet south of the entrances to prevent any sight clearance issue with vehicular traffic entering, leaving or passing by the center.
b.
Wall Signage
All wall signs shall consist of interior-illuminated, plastic faced, metal channel letters, and reverse channel letters are encouraged. Can signs may be approved on a case by case basis by the Community Development Director, provided that the can sign represents a registered trademark, symbol or logo commonly used by the tenant. Exposed raceways and exposed neon are prohibited.
c.
Major Tenant Signage
The Major Tenant is allowed one square foot of signage per each linear foot of building frontage, with sign coverage limited to 80 percent of the building's façade. The Major Tenant signage may not exceed four feet in height for primary signage and two feet in height for secondary signage.
d.
Single Tenant Pad
One square foot of signage shall be allowed per each linear foot of building frontage with sign coverage limited to 80 percent of the building's façade, not to exceed two feet of overall height for single line and two feet six inches for double line.
e.
Miscellaneous Signage
Any sign not specifically identified in the Specific Plan shall be subject to the regulations of the Development Code.
7.
Lighting
All lighting within the Specific Plan area shall adhere to the following requirements:
a.
Lighting fixtures throughout the site shall be of a type and be located in such a manner that no light or reflected glare is directed off-site and shall provide that no light is directed above a horizontal plane passing through the bottom of the fixture. All glare shall be directed onto the site and away from adjacent properties and light standards shall not exceed fifteen (15) in height adjacent to residential districts as required by the EIR.
b.
Light standards shall blend architecturally with buildings, pedestrian areas and other hardscape elements.
c.
All lighting used in parking lots for security purposes or safety-related uses shall be scheduled so light rays emitted by the fixture are projected below the imaginary horizontal plane passing through the lowest point of the fixture and in such a manner that the light is directed away from streets and adjoining properties.
8.
Fire Protection
The Specific Plan Area is protected by the Apple Valley Fire Protection District (Fire District). Prior to construction occurring on any parcel, the owner shall contact the Fire District for verification of current fire protection development requirements. The following section addresses fire protection requirements for the Specific Plan area:
a.
A turnaround shall be required at the end of each roadway 150 feet or more in length and shall be approved by the Fire District. Turning radius on all roads within the facility shall not be less than 22 feet inside and minimum of 40 feet outside turning radius with no parking on street, or 47 feet with parking. Uniform Fire Code, Section 902.2.2.3. Apple Valley Fire Protection District Ordinance 41, Section 1 (e). Install per Fire District Standard Series #202.
b.
Plans for fire protection systems designed to meet the fire flow requirements set forth below shall be submitted to and approved by the Fire District and water purveyor prior to the installation of said systems. (Apple Valley Fire Protection District, Ordinance 42).
1.
Unless otherwise approved by the Fire Chief, on-site fire protection water systems shall be designed to be looped and fed from two remote points. The minimum water main size is twelve inches.
2.
System Standards: *Fire Flow 5,250 GPM @ 20 psi Residual Pressure Duration: 4 Hour(s)
Hydrant Spacing: 330 Feet
*If blank, flow to be determined by calculation when additional construction information
is received. Install per Fire District Standard Series #101.
3.
The total number of fire hydrants will be determined at a later date. It is the responsibility of the owner/developer to provide all new fire hydrants with reflective pavement markers set into pavement and curb identification per Fire District Standard. Install per Fire District Standard Series #101.
c.
An approved fire sprinkler system shall be installed throughout any building:
1.
5,000 square feet or greater, including garage and enclosed areas under roof, or
2.
Other per California Building Code requirements.
The system shall be supervised and connected to an approved alarm monitoring station and provide local alarm which will give an audible signal at a protected location. Supervision to be both water flow and tamper. Sprinkler work may not commence until approved plans and permits have been issued by the Fire District. (Apple Valley Fire Protection District, Ordinance 41).
d.
A letter shall be furnished to the Fire District from the water purveyor stating that the required fire flow for a development in the Specific Plan area can be met, prior to obtaining a Certificate of Occupancy.
e.
Fire District Final Subdivision/Tract/Development fees shall be paid to the Fire District prior to final map acceptance according to the current Apple Valley Fire Protection District Fee Ordinance.
f.
Prior to issuance of a Building Permit, the developer shall pay all applicable fees as identified in the Apple Valley Fire Protection District Ordinance.
g.
A Knox Box Rapid Entry System shall be required for development in the Specific Plan area. Uniform Fire Code, Section 902.4. Install per A.V. F.P.D. ARI #5.
9.
Noise
All requirements of the Town's Noise Ordinance shall be met at all times within the Specific Plan Area. In addition, delivery trucks shall be limited to delivering during the daytime hours of 7:00 a.m. to 8:00 p.m. Monday through Saturday.
A.
Infrastructure
1.
Water Facilities
The Specific Plan area will be provided potable water by AVRWC. All proposed water
system improvements will be designed and constructed to the satisfaction of the Town
and the AVRWC. The Specific Plan area water supply and demand issues are comprehensively
addressed within the 2005 Urban Water Management Plans ("UWMPs").
Based on AVRWC planning and design criteria, the Specific Plan area water demand is
as follows:
Table 3
Apple Valley Commercial Specific Plan Estimated Water Demand
The developer is responsible for ensuring that all requirements to obtain water service for the Specific Plan area are met with AVRWC as well as all other applicable agencies. All water mains and fire hydrants providing required fire flows shall be constructed in accordance with all applicable requirements of the Fire District, subject to the approval by AVRWC. All approvals required shall be ministerial and not appealable.
2.
Wastewater Facilities
The Specific Plan area will be provided wastewater service by the Town of Apple Valley Wastewater Division for wastewater collection, and by VVWRA for wastewater treatment. Wastewater treatment demands of the Specific Plan area are conservatively estimated to approximate the Specific Plan area's commercial water demand, estimated at 19,200 gallons per day (0.019 MGD). This represents approximately 0.13 percent (0.0013) of the VVWRA current plant capacity, and approximately 0.10 percent of the near-term VVWRA 2008 expanded plant capacity.
Table 4
Apple Valley Commercial Specific Plan Estimated Wastewater Flows
Developer is responsible to ensure that all requirements to obtain wastewater service for the Specific Plan area are met with the Town of Apple Valley Wastewater Division and VVWRA, as well as all other applicable agencies. These approvals are ministerial and not appealable.
Sewage disposal shall be by connection to the Town of Apple Valley sewer system. Financial arrangements, plans and improvement agreements must be approved by the Town of Apple Valley Public Works Department.
A grease interceptor with minimum capacity of 750 gallons shall be required for all floor drains and service sinks, and all other receptors of grease and oil-bearing wastes.
3.
Drainage
The topography of the Specific Plan area results in an overland flow with an ultimate discharge onto Dale Evans Parkway. The Specific Plan area also collects approximately 2.60-acres of runoff from a portion of Dale Evans Parkway. The Specific Plan area will utilize a combination of four surface basins to retain and infiltrate the runoff generated by the 100-year 24-hour storm event, as shown on Figures 9 and 10, and subject to the following requirements:
a.
A final drainage plan with street layouts shall be submitted for review and approval by the Town Engineer showing provisions for receiving and conducting offsite and onsite tributary drainage flows around or through the site in a manner which will not adversely affect adjacent or downstream properties. This plan shall consider retaining onsite drainage flows from a 100 year design storm.
b.
Any developer fees including but not limited to drainage fees shall be paid by the developer as per Town enactment.
c.
Grading and drainage parameters shall be in compliance with the Building Code and Town ordinances. The developer shall provide landscaping of the basin and all parkway areas adjacent to all public rights of way, subject to the approval of the Town, and shall form or establish an assessment district or other approved property owner association to provide for the on-going maintenance of the retention basins and other landscaped areas. The developer shall pay for all costs relating to establishment of the district. The retention basins shall also include Town Standard two-stage dry wells to help facilitate the rapid removal of storm water.
d.
Grading and drainage plans must be submitted to and approved by the Building Official, Planning Department and Town Engineer prior to permit issuance.
e.
Developer must submit plans and obtain permits for all structures and retaining walls.
4.
Water Quality
The existing drainage within the Specific Plan area is discussed above in Section 9.40.020(C)(2), Hydrology.
During construction, in accordance with the National Pollution Discharge Elimination System (NPDES) requirements for storm water quality, the developer will be required to prepare a construction activities erosion control plan to alleviate potential sedimentation and storm water discharge contamination impacts of development within the Specific Plan area. The Developer will also be responsible for obtaining a General Permit for storm water discharge from the Santa Ana Regional Water Quality Control Board. Under the General Permit, discharge of materials other than storm water is prohibited. In addition, the developer must prepare, retain at the construction site, and implement a Storm Water Pollution Prevention Plan (SWPPP) which identifies the sources of sediments and other pollutants that affect the quality of storm water discharge, and implement practices to reduce sediment and other pollutants to storm water discharge.
A Notice of Intent (NOI) and Storm Water Pollution Prevention Plan (SWPPP) must be submitted to and approved by the Engineering and Building Departments prior to issuance of a grading permit and or any land disturbance.
During operations, all activities must comply with a Water Quality Management Plan (WQMP), which includes various Treatment Control Best Management Practices (BMPs). Compliance with the WQMP would ensure that operational activities within the Specific Plan area would not violate any water quality standards. A Final WQMP shall be submitted for review and approval by the Public Works Department/Town Engineer for all ongoing drainage facilities and maintenance. The Final WQMP shall conform to the latest requirements set forth by the Lahontan Regional Water Quality Control Board.
5.
Solid Waste Disposal
As discussed in Section 9.40.020 (D)(3) of this Specific Plan, solid waste generated in the Specific Plan area may be disposed of at any of the six regional landfills in the area, although it is anticipated that such waste will be transported to, and disposed of at, the Victorville Regional Sanitary Landfill. Waste generation of the Specific Plan area is estimated at 3.1 tons per day, and maximum throughput of the landfill is 3,000 tons/day. Waste generated by the Specific Plan area would comprise approximately 0.103 percent of the Landfill's maximum permitted daily throughput.
6.
Police Protection
Police protection for the Specific Plan area will be provided by the Apple Valley Police Department, as a contract service of the San Bernardino County Sheriff. No new or expanded police protection facilities are needed to adequately serve the Specific Plan area.
7.
Fire
Fire protection services for the Specific Plan area are provided by the Apple Valley Fire Protection District. No new or expanded fire protection facilities are needed to adequately serve the Specific Plan area.
8.
Electricity and Telecommunications
Electricity for the Specific Plan area will be provided by Southern California Edison. No new energy-producing facilities would be necessary to serve the Specific Plan area, nor will the Specific Plan area require the construction or extension of new energy transmission lines. Telecommunication services for the Specific Plan area will be provided by various private companies. Natural gas for the Specific Plan area will be provided by Southwest Gas. All utilities shall be placed underground in compliance with Town Ordinance No. 89.
B.
Roads
Access to the Specific Plan area allows for safe and efficient travel to and from the area. Administrative provisions and signage of the Specific Plan will facilitate direction and access throughout the area. Public transportation will be permitted in the Specific Plan area.
Access to the Specific Plan area will be provided via Dale Evans Parkway via two (2) driveways. The southerly driveway onto Dale Evans Parkway (Driveway 1) will be signalized and aligned with the opposing driveway which provides access to the Lowe's development on the west side of Dale Evans Parkway. Driveway 1 will provide two lanes inbound and two lanes outbound. The northerly driveway (Driveway 2) will consist of a signalized northerly driveway onto Dale Evans Parkway located between Parcels 1 and 4, and in addition to patron traffic, will provide access for service vehicles (trucks) leaving the Specific Plan Area. The driveway will have one lane inbound and two lanes outbound.
In addition to these Specific Plan area improvements, the following off-site circulation improvements will be constructed as part of the Specific Plan:
1.
Traffic signal and intersection modifications shall be provided at the Dale Evans Parkway and Bass Hill Road intersection.
2.
The north side of Outer Highway 18 is to be removed from Standing Rock Avenue to Dale Evans Parkway. In combination with the removal of the outer highway, a new connection at Standing Rock Avenue and State Route 18 is to be constructed.
3.
A traffic signal shall be constructed on Dale Evans Parkway at the northeast access driveway. The traffic signal on Dale Evans Parkway at the northeast access driveway must have battery back-up, pre-emption, and be interconnected with nearby signals.
4.
A Class 1 Bike Path shall be constructed on the east side of Dale Evans Parkway. A Lifeline Multi-Use Trail is required along the northeasterly and east boundary of the Specific Plan area adjacent to the rear property line of the project as identified in General Plan Exhibit II-9, Recreational Trail System.
5.
A standard bus turn-out shall be incorporated into the improvements to Dale Evans Parkway to accommodate a forty (40)-foot vehicle. Location and design considerations shall be given to ensure a convenient entrance, unobstructed and continuous path of travel to comply with ADA regulations and locating the turnout a sufficient distance from the nearest driveway so that the turnout does not impede ingress and egress of vehicles.
6.
In addition to the bus turn-out identified above, the installation of a bus stop shelter will be required on Dale Evans Parkway.
7.
Street improvement plans shall be submitted to the Town Engineer for review and approval. Such approval is ministerial and non-appealable.
8.
Dale Evans Parkway adjacent to the property shall be improved to the Town's half-width major road standards, including an acceleration/deceleration line, raised median, and sidewalks.
9.
Non-vehicular access rights shall be dedicated to the Town of Apple Valley along the frontage of the project on Dale Evans Parkway except at designated driveway locations.
10.
A frontage foot fee must be paid for improvements previously constructed on Dale Evans Parkway.
11.
During the grading of the roads, soils testing of the road sub grades by a qualified soils engineering firm shall be performed to determine appropriate structural road section. Minimum asphalt concrete thickness for all streets shall be 0.33 ft.
12.
An encroachment permit shall be obtained from the Town prior to performing any work in any public right-of-way.
13.
Final improvement plans and profiles shall indicate the location of any existing utility which would affect construction and shall provide for its relocation at no cost to the Town.
14.
Any required street striping shall be thermoplastic as approved by the Town Engineer.
C.
Grading and Construction
The Specific Plan area is relatively flat. To develop the Specific Plan area, the site will be graded and prepared for construction. The total earthwork is estimated to include approximately 36,000 cubic yards of fill. A final grading plan shall be submitted to the Town Engineer for review and approval prior to issuance of a grading permit. A grading permit shall not be issued until street improvement plans have been submitted to the Town Engineer for review and substantial completion of the street plans has been attained as determined by the Town Engineer, and all grading shall be subject to the following requirements:
1.
A pre-construction permit and inspection and a pre-grading meeting is required prior to any land disturbing activity or grading to verify requirements for erosion control, flood hazard native plant protection and desert tortoise habitat. This meeting will include the Building Inspector, General Contractor, Grading Contractor, soils technician and any other parties required to be present during the grading process such as a Biologist and/or Paleontologist
D.
Fiscal Implementation
Implementation of the Specific Plan including, without limitation, construction of all infrastructure and private facilities contemplated in the Specific Plan, will be financed as follows:
1.
All infrastructure necessary to implement the Specific Plan will be privately funded (by way of debt and/or equity financing), except to the extent that the cost of components of the infrastructure is:
a.
funded by development impact fees, fair share contributions and other payments to public agencies and/or;
b.
reimbursed from any public source.
2.
All private improvements necessary to implement the Specific Plan will be privately financed (by way of debt and/or equity financing).
A.
Permit Processing
Development within the Specific Plan area which substantially conforms to the provisions of the Specific Plan and the various conceptual plans attached as Figures 2 to 10 shall be processed through the building permit and construction plan submittals. Any approval, decision, review or action in this respect shall be ministerial and not appealable.
For purposes of development anticipated under the Specific Plan, ministerial building permit and construction plan review includes any subsequent approvals, decisions, review or actions required by Town agencies, entities or individuals (i.e. Planning Division, Public Works, Building & Safety). The purpose of these approvals, decisions, review or actions is to ensure compliance with the provisions of the Specific Plan and all applicable building codes and requirements of the Town, County, State and other responsible agencies. Ministerial building permit and construction plan review shall be non-discretionary, final actions that cannot be appealed.
Development that is not consistent with the development standards set forth in the Apple Valley Commercial Specific Plan, shall either require a Substantial Conformance Determination, as discussed below, or require approval under the provisions and requirements of the Town Development Code for development in the C-G Zone.
B.
Substantial Conformance Determination
1.
Substantial Conformance Determination - Purpose
The Substantial Conformance Determination is a mechanism to allow the approval of minor modifications for development under the Specific Plan. Substantial Conformance Determinations may include, but are not limited to: minor modifications to the conceptual plans shown on Figures 2 to 10; inclusion of land uses not listed in Table 1 of the Specific Plan; modifications that might be necessary to comply with applicable infrastructure; public services and facilities requirements; landscape palette; and other issues. Substantial Conformance Determination shall not include significant modifications in the basic design of the Specific Plan area; significant changes to the height or bulk of the approved uses; or increases in the density or intensity of the approved uses unless specifically permitted by the provisions of this Specific Plan.
The use of Substantial Conformance Determination is intended to ensure orderly development, quality aesthetic design, and safe and harmonious placement of uses within the Specific Plan area. Substantial Conformance Determination (unless specifically noted otherwise) shall be made by the Community Development Director or designee administratively, without the need for a public hearing. Furthermore, the Substantial Conformance Determination will be final and not subject to appeal. In making a Substantial Conformance Determination, the Community Development Director or designee shall first make all of the required findings set forth in this section.
2.
Guidelines for Substantial Conformance Determination
The following guidelines define the provisions of the Specific Plan subject to Substantial Conformance Determination, and the limits placed on the degree of variance from the provisions of the Specific Plan that can occur through the Substantial Conformance Determination procedure.
Permitted Land Uses
Land uses not listed as permitted in Table 1 of this Specific Plan may be permitted, subject to a Substantial Conformance Determination, provided that:
•
The proposed use is compatible with the uses permitted described in Table 1 of this Specific Plan; and
•
The proposed use is similar to and will not cause environmental impacts substantially greater than the other permitted uses set forth within Table 1 of this Specific Plan.
Infrastructure
Any modifications to the alignment of access roads; parking lot configurations, or adjustments to individual infrastructure facilities plans such as drainage, sewer, water, and utilities shall be subject to Substantial Conformance Determination by the Community Development Director or designee. Prior to a Substantial Conformance Determination, the Community Development Director or designee shall make the finding that the proposed modification will not result in any environmental impacts substantially greater than those which would occur in the absence of the Substantial Conformance Determination.
Environmental Standards
The Community Development Director or designee may approve minor variations from the Environmental Standards set forth in Section 6 of this Specific Plan, subject to a Substantial Conformance Determination. In making such a determination, the Community Development Director or designee shall first find that the proposed variation provides substantially equivalent environmental protection as the originally approved standard.
Conceptual Plans and Other Specific Plan Provision
Provisions of the Specific Plan including, but not limited to, minor modifications to the conceptual plans attached as Figures 2 to 10, architectural details, landscape palette, building size, height, bulk, and orientation, parking lot layout, and other plan details may be modified utilizing a Substantial Conformance Determination. In making such a determination, the Community Development Director or designee shall be required to find that the revisions requested under a Substantial Conformance Determination are consistent with the provisions of the Apple Valley General Plan, and will not create impacts substantially greater than those that would have resulted from the original approval of the Specific Plan.
A maximum 10 percent modification to permitted lot coverage, setbacks, floor area (other than the maximum allowable with the Specific Plan area site), and fence and wall heights may be permitted subject to a Substantial Conformance Determination by the Community Development Director or designee. In making such a determination, the Community Development Director or designee shall be required to find that the revisions requested under Substantial Conformance Determination are consistent with the provisions of the Apple Valley General Plan, and will not create impacts substantially greater than those that would have resulted from the original approval of the Specific Plan.
The required parking spaces may be reduced by the Community Development Director or designee subject to a Substantial Conformance Determination following preparation of a parking study that demonstrates the proposed reduction in parking spaces is justified based on the mix of uses within the Specific Plan area and the use of shared parking between those uses.
C.
Substantial Conformance Determination
1.
Application
Applications for a Substantial Conformance Determination shall be made on forms provided by the Community Development Director or designee and shall be accompanied by a filing fee. Applications shall be made by the owner of the property for which the approval is sought, or an authorized agent. Each of the Substantial Conformance Determinations required by this Specific Plan can be submitted and processed through one application and a pending application can be updated to include additional Substantial Conformance Determination requests.
2.
Hearing
No public hearing shall be required for a Substantial Conformance Determination.
3.
Action by Reviewing Authority
The reviewing authority for a Substantial Conformance Determination shall be the Community Development Director or designee. The reviewing authority shall take action by providing written notice to the developer approving, conditionally approving, or denying the Substantial Conformance Determination. The action of the Community Development Director or designee shall be final with no appeal.
4.
Findings
The Community Development Director or designee must make a Substantial Conformance Determination if all of the following findings, in addition to those identified above, can be made:
•
The physical characteristics of the site have been adequately assessed, and proposed building sites are of adequate size and shape to accommodate proposed uses and all other features of development;
•
There is supporting infrastructure, existing or available, consistent with the requirements of the Specific Plan, to accommodate the development without significantly lowering service levels;
•
The development resulting from the Substantial Conformance Determination will not have a substantial adverse effect on surrounding property or the permitted use thereof, and will be compatible with the existing and planned land uses, as well as the character of the surrounding area; and
•
The proposed improvements related to the development resulting from the Substantial Conformance Determination adequately address all natural and man-made hazards associated with the proposed development and the Specific Plan area site.
D.
Specific Plan Amendments
1.
Purpose
Amendments to the Specific Plan shall be required for revisions that are beyond the scope of substantial conformance determinations. Specific Plan amendments are governed by Government Code Section 65453.
2.
Process
a.
The Specific Plan may be amended or repealed only by a majority of the voters voting in an election thereon.
b.
Notwithstanding subsection (a), upon application of the fee title holder of the Specific Plan area, the Town Council may amend the Specific Plan to further the purposes of this Specific Plan, but in no case can such amendment reduce or eliminate the parties' obligation to fund, construct, or cause to be funded or constructed, the public benefits or Environmental Standards required.
The Specific Plan includes environmental standards to ensure that development proceeds with appropriate environmental sensitivity. Environmental studies related to health risks, air quality, biological resources, geology and soils, hydrology and water quality, noise, public services and utilities, traffic, urban decay, and cultural resources were conducted for the potential development of the Specific Plan area. Environmental Standards were developed from these environmental studies, along with information from the Town Ordinances, General Plan and any other applicable local, regional, state or federal standards or requirements.
All Environmental Standards shall be implemented in accordance with the Specific Plan's environmental standards and implementation process as outlined in Table 5. The developer of the Specific Plan area shall bear all costs of implementing the Environmental Standards. The Developer shall prepare and submit written report(s) to the Planning Division/Community Development Director demonstrating compliance with the Environmental Standards. The reports(s) must be submitted as required by the Timing requirements, either prior to the commencement of an activity or permit issuance or upon completion of an activity or final inspection/Certificate of Occupancy, as specifically identified for each Environmental Standard. The Planning Division/Community Development Director may also require inspection or other monitoring to ensure compliance with these Environmental Standards.
Table 5
Apple Valley Commercial Specific Plan Environmental Standards
FIGURE 1
FIGURE 2
FIGURE 3
FIGURE 4
FIGURE 5
FIGURE 6
FIGURE 7
FIGURE 8
FIGURE 9
FIGURE 10