118 - PLANNED RESIDENTIAL DISTRICT NO. 10—ELLINGTON
The purpose of planned residential district No. 10 is to provide for the development of certain lands on the north side of Johnson Road with a cluster development. The development is designed in a manner that will provide open space and landscaping, and assure compatibility with this transitional neighborhood.
The following regulations have been designed to carry out these purposes and are further implemented in the approved preliminary development site plan and approved development standards plan dated 10/10/00.
(Ord. 1792, 2001)
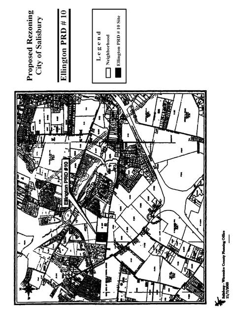
The area to be rezoned as planned residential district No. 10—Ellington, consists of 8.44 acres of land binding upon the north side of Johnson Road, the east side of Tamarac Village, the south side of Parkside High School and the west side of lands now or formerly owned by Dorothy Smith, being the same as shown on the preliminary subdivision plat prepared by Chris Custis, dated 12/6/00. The site is further identified as part of Parcel No. 268 on County Tax Map No. 48.
(Ord. 1792, 2001)
Permitted uses shall be as follows:
A.
Cluster development, limited to one or two-story residential structures in two-unit buildings as shown on the preliminary development Plan approved by the planning commission and recorded in the Land Records of Wicomico County.
(Ord. 1792, 2001)
Accessory uses and structures shall be as follows:
A.
Home occupation;
B.
Home office;
C.
Family day-care home;
D.
Public recreational facilities;
E.
Uses and structures clearly incidental to, customary to and associated with the permitted use.
(Ord. 1792, 2001)
Development standards for planned residential district No. 10 shall be as follows:
A.
Minimum lot requirements:
1.
Lot area: six thousand (6,000) sq. ft.;
2.
Lot width: forty (40) feet;
3.
Individual lot or building areas are as shown on the final subdivision plat.
B.
Minimum yard and perimeter requirements:
1.
Front yard: twenty (20) feet;
2.
Front yard—corner units: fifteen (15) feet;
3.
Side yard: six feet (two required);
4.
Rear yard: twelve (12) feet from rear lot line
C.
Density: The total number of units on the site shall not exceed the approved fifty-four (54) units.
D.
Height: Not to exceed thirty-five (35) feet or two stories.
E.
Parking. Parking shall be provided in accordance with chapter 17.196. Parking of vehicles of any type shall not be permitted within the front yard other than in driveways providing access from public streets. No open lot storage of trucks or vans used in the conduct of a business shall be permitted.
F.
Landscaping and Open Space. Landscaping and open space, including perimeter berms and plantings, shall be provided in accordance with the preliminary development plan dated 10/10/00, subject to any subsequent modifications thereto required by the Salisbury planning commission or city council.
G.
Signs. A sign plan shall be approved by the planning and zoning commission for Ellington PRD No. 10.
(Ord. 1792, 2001)
Accessways and street entrances shall be provided as shown on the preliminary development site plan dated 11/29/00 subject to any subsequent modification thereto required by the city council or the city department of infrastructure and development and shown on the final development plan.
(Ord. 1792, 2001)
Amendments to planned development district No. 10 shall be in accordance with the procedures established in Chapters 17.108, 17.112, and 17.228.
(Ord. 1792, 2001)
Development of the site shall be in general conformance with the approved preliminary comprehensive site plan and landscaping plan dated 10/10/00, approved by the city council. The preliminary development site plan shall be recorded in the land records of Wicomico County.
(Ord. 1792, 2001)
Development of planned residential district No. 10 shall be controlled by the final development plan as approved by the planning commission and any amendments thereto. Where specific regulations are not addressed in this district, all other regulations of Title 17, Zoning, of the Salisbury Municipal Code shall govern.
(Ord. 1792, 2001)
118 - PLANNED RESIDENTIAL DISTRICT NO. 10—ELLINGTON
The purpose of planned residential district No. 10 is to provide for the development of certain lands on the north side of Johnson Road with a cluster development. The development is designed in a manner that will provide open space and landscaping, and assure compatibility with this transitional neighborhood.
The following regulations have been designed to carry out these purposes and are further implemented in the approved preliminary development site plan and approved development standards plan dated 10/10/00.
(Ord. 1792, 2001)
The area to be rezoned as planned residential district No. 10—Ellington, consists of 8.44 acres of land binding upon the north side of Johnson Road, the east side of Tamarac Village, the south side of Parkside High School and the west side of lands now or formerly owned by Dorothy Smith, being the same as shown on the preliminary subdivision plat prepared by Chris Custis, dated 12/6/00. The site is further identified as part of Parcel No. 268 on County Tax Map No. 48.
(Ord. 1792, 2001)
Permitted uses shall be as follows:
A.
Cluster development, limited to one or two-story residential structures in two-unit buildings as shown on the preliminary development Plan approved by the planning commission and recorded in the Land Records of Wicomico County.
(Ord. 1792, 2001)
Accessory uses and structures shall be as follows:
A.
Home occupation;
B.
Home office;
C.
Family day-care home;
D.
Public recreational facilities;
E.
Uses and structures clearly incidental to, customary to and associated with the permitted use.
(Ord. 1792, 2001)
Development standards for planned residential district No. 10 shall be as follows:
A.
Minimum lot requirements:
1.
Lot area: six thousand (6,000) sq. ft.;
2.
Lot width: forty (40) feet;
3.
Individual lot or building areas are as shown on the final subdivision plat.
B.
Minimum yard and perimeter requirements:
1.
Front yard: twenty (20) feet;
2.
Front yard—corner units: fifteen (15) feet;
3.
Side yard: six feet (two required);
4.
Rear yard: twelve (12) feet from rear lot line
C.
Density: The total number of units on the site shall not exceed the approved fifty-four (54) units.
D.
Height: Not to exceed thirty-five (35) feet or two stories.
E.
Parking. Parking shall be provided in accordance with chapter 17.196. Parking of vehicles of any type shall not be permitted within the front yard other than in driveways providing access from public streets. No open lot storage of trucks or vans used in the conduct of a business shall be permitted.
F.
Landscaping and Open Space. Landscaping and open space, including perimeter berms and plantings, shall be provided in accordance with the preliminary development plan dated 10/10/00, subject to any subsequent modifications thereto required by the Salisbury planning commission or city council.
G.
Signs. A sign plan shall be approved by the planning and zoning commission for Ellington PRD No. 10.
(Ord. 1792, 2001)
Accessways and street entrances shall be provided as shown on the preliminary development site plan dated 11/29/00 subject to any subsequent modification thereto required by the city council or the city department of infrastructure and development and shown on the final development plan.
(Ord. 1792, 2001)
Amendments to planned development district No. 10 shall be in accordance with the procedures established in Chapters 17.108, 17.112, and 17.228.
(Ord. 1792, 2001)
Development of the site shall be in general conformance with the approved preliminary comprehensive site plan and landscaping plan dated 10/10/00, approved by the city council. The preliminary development site plan shall be recorded in the land records of Wicomico County.
(Ord. 1792, 2001)
Development of planned residential district No. 10 shall be controlled by the final development plan as approved by the planning commission and any amendments thereto. Where specific regulations are not addressed in this district, all other regulations of Title 17, Zoning, of the Salisbury Municipal Code shall govern.
(Ord. 1792, 2001)