SUPERIOR-RURAL OVERLAY ZONE
The purpose of the Superior/Rural Overlay Zone is to establish development standards that minimize the impacts of nonresidential development on existing residential uses.
(Prior Code, § 621.001; Ord. No. 31-13)
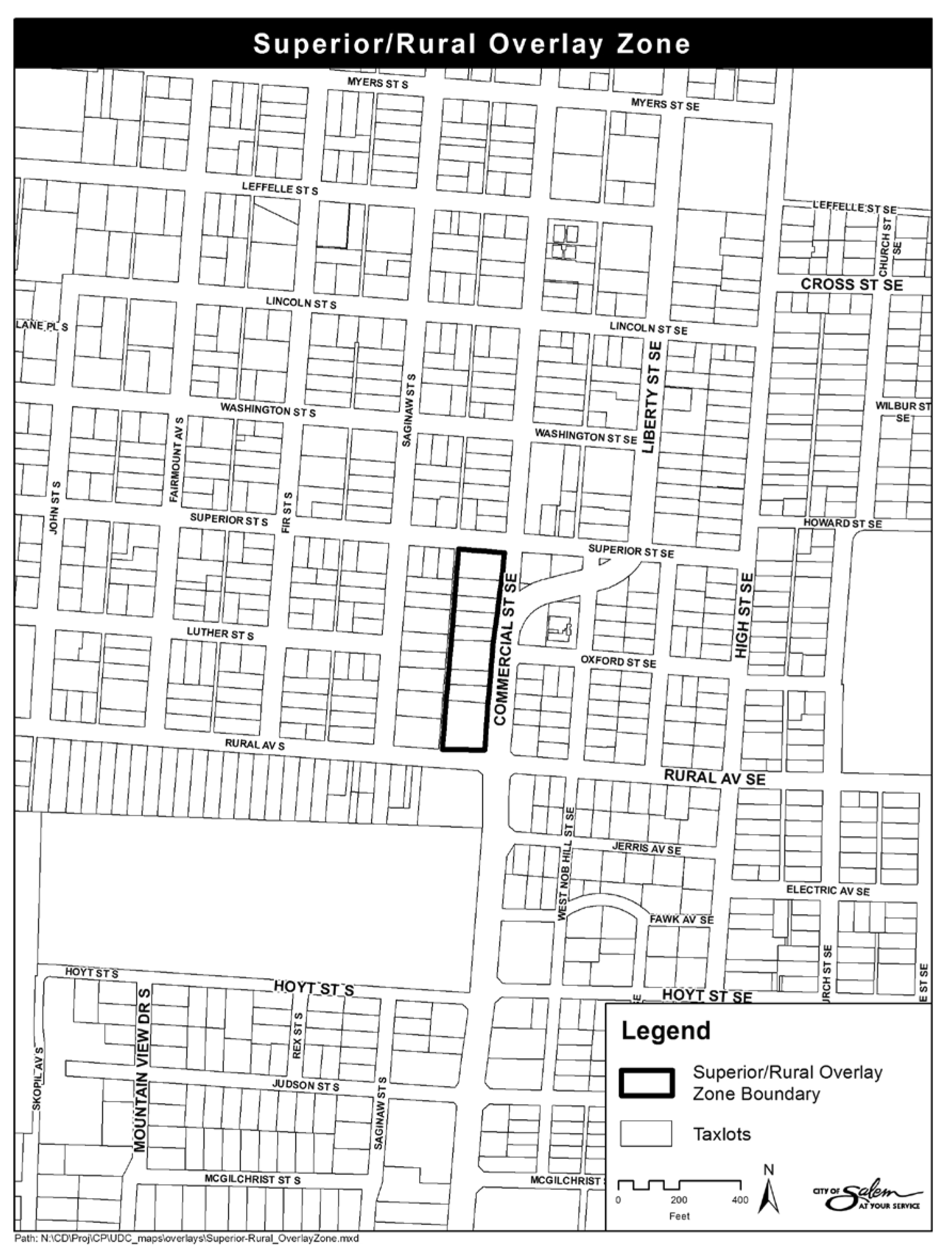
The boundaries of the Superior/Rural Overlay Zone are shown in Figure 621-1.
(Prior Code, § 621.005; Ord. No. 31-13)
Any use that is a permitted, special, conditional, or prohibited use in the underlying zone is a permitted, special, conditional, or prohibited use in the Superior/Rural Overlay Zone.
(Prior Code, § 621.010; Ord. No. 31-13)
Change of use or development within the Superior/Rural Overlay Zone must comply with the development standards applicable in the underlying zone and the development standards set forth in this section. The development standards in this section are in addition to, and not in lieu of, all other applicable development standards in the underlying zone. Where the development standards in this section conflict with the development standards applicable in the underlying zone, the development standards in this section shall be the applicable development standard.
(a)
Height. Buildings and accessory structures within the Superior/Rural Overlay Zone shall conform to the height standards set forth in Table 621-2.
Figure 621-1. Superior/Rural Overlay Zone
(Prior Code, § 621.015; Ord. No. 31-13; Ord. No. 1-20, § 2(Exh. B), 2-24-2020; Ord. No. 5-23, § 1(Exh. A), 10-23-2023)
SUPERIOR-RURAL OVERLAY ZONE
The purpose of the Superior/Rural Overlay Zone is to establish development standards that minimize the impacts of nonresidential development on existing residential uses.
(Prior Code, § 621.001; Ord. No. 31-13)
The boundaries of the Superior/Rural Overlay Zone are shown in Figure 621-1.
(Prior Code, § 621.005; Ord. No. 31-13)
Any use that is a permitted, special, conditional, or prohibited use in the underlying zone is a permitted, special, conditional, or prohibited use in the Superior/Rural Overlay Zone.
(Prior Code, § 621.010; Ord. No. 31-13)
Change of use or development within the Superior/Rural Overlay Zone must comply with the development standards applicable in the underlying zone and the development standards set forth in this section. The development standards in this section are in addition to, and not in lieu of, all other applicable development standards in the underlying zone. Where the development standards in this section conflict with the development standards applicable in the underlying zone, the development standards in this section shall be the applicable development standard.
(a)
Height. Buildings and accessory structures within the Superior/Rural Overlay Zone shall conform to the height standards set forth in Table 621-2.
Figure 621-1. Superior/Rural Overlay Zone
(Prior Code, § 621.015; Ord. No. 31-13; Ord. No. 1-20, § 2(Exh. B), 2-24-2020; Ord. No. 5-23, § 1(Exh. A), 10-23-2023)