47A - COMMERCIAL
A.
This Chapter 23.47A describes the authorized uses and development standards for the following zones:
1.
Neighborhood Commercial 1 (NC1);
2.
Neighborhood Commercial 2 (NC2);
3.
Neighborhood Commercial 3 (NC3);
4.
Commercial 1 (C1); and
5.
Commercial 2 (C2).
B.
Zones listed in subsection 23.47A.002.A and having an incentive zoning suffix are subject to this Chapter 23.47A and Chapter 23.58A, Incentive Provisions.
C.
Some land in these zones may be regulated by Subtitle III, Division 3, Overlay Districts, of this Title 23.
D.
Other regulations, including but not limited to general use provisions (Chapter 23.42); requirements for streets, alleys, and easements (Chapter 23.53); standards for parking quantity, access, and design (Chapter 23.54); standards for solid waste storage (Chapter 23.54); signs (Chapter 23.55); communications regulations (Chapter 23.57); and methods for measurements (Chapter 23.86) may apply to development proposals.
(Ord. 125791, § 48, 2019; Ord. 125267, § 11, 2017; Ord. 124969, § 4, 2016; Ord. 123770, § 6, 2011; Ord. 123495, § 48, 2011; Ord. 123046, § 29, 2009; Ord. 122311, § 44, 2006.)
A.
All uses are permitted outright, prohibited, or permitted as a conditional use according to Table A for 23.47A.004 and this Section 23.47A.004, except as may be otherwise provided pursuant to Subtitle III, Division 3, Overlay Districts, of this Title 23.
B.
All permitted uses are allowed as a principal use or as an accessory use, unless otherwise indicated in Table A for 23.47A.004.
C.
The Director may authorize a use not otherwise permitted in the zone in a Landmark structure, subject to the following criteria:
1.
The use will not require significant alteration of the structure;
2.
The design of the structure makes uses permitted in the zone impractical in the structure, or the permitted uses do not provide sufficient financial return to make use of the Landmark structure feasible; and
3.
The physical impacts of the use will not be detrimental to other properties in the zone or vicinity or to the public interest.
D.
Public facilities
1.
Uses in public facilities that are most similar to uses permitted outright or permitted as a conditional use under this Chapter 23.47A are permitted outright or as a conditional use, respectively, subject to the same use regulations, development standards, and conditional use criteria that govern the similar uses.
2.
Permitted uses in public facilities requiring council approval. Unless specifically prohibited in Table A for 23.47A.004, uses in public facilities that are not similar to uses permitted outright or permitted as a conditional use under this Chapter 23.47A, may be permitted by the Council.
3.
In all NC zones and C zones, uses in public facilities not meeting development standards may be permitted by the Council, and the Council may waive or grant departures from development standards, if the following criteria are satisfied:
a.
The project provides unique services that are not provided to the community by the private sector, such as police and fire stations;
b.
The proposed location is required to meet specific public service delivery needs;
c.
The waiver of or departure from the development standards is necessary to meet specific public service delivery needs; and
d.
The relationship of the project to the surrounding area has been considered in the design, siting, landscaping, and screening of the facility.
4.
The Council's use approvals, and waivers of or grants of departures from applicable development standards or conditional use criteria, contemplated by subsections 23.47A.004.D.2 and 23.47A.004.D.3, are governed by the provisions of Chapter 23.76, Subchapter III.
5.
Expansion of uses in public facilities
a.
Major expansion. Major expansion of uses in public facilities allowed pursuant to subsections 23.47A.004.D.1, 23.47A.004.D.2, and 23.47A.004.D.3 may be permitted according to the criteria and process in those subsections 23.47A.004.D.1, 23.47A.004.D.2, and 23.47A.004.D.3. A major expansion of a public facility use occurs when an expansion would not meet development standards or the area of the expansion would exceed either 750 square feet or ten percent of the existing area of the use, whichever is greater. For the purposes of this subsection 23.47A.004.D, area of use includes gross floor area and outdoor area devoted actively to that use, other than as parking.
b.
Minor expansion. An expansion of a use in a public facility that is not a major expansion is a minor expansion. Minor expansions to uses in public facilities allowed pursuant to subsections 23.47A.004.D.1, 23.47A.004.D.2, and 23.47A.004.D.3 may be permitted according to the provisions of Chapter 23.76 for a Type I Master Use Permit.
6.
Essential public facilities. Permitted essential public facilities, except for light rail transit facilities, shall also be reviewed according to the provisions of Chapter 23.80. Notwithstanding conflicting provisions in subsections 23.47A.004.D.3 and 23.47A.004.D.5, light rail transit facilities are exempt from the development standards in this Chapter 23.47A and shall be reviewed according to the provisions of Chapter 23.80.
7.
Youth service centers existing as of January 1, 2013, in public facilities operated by King County within urban center villages and replacements, additions, or expansions to such King County public facilities are permitted in NC3 zones.
E.
Changes from accessory to flexible-use parking may occur, subject to Section 23.54.026.
F.
Public use of accessory parking is subject to Section 23.54.027.
G.
Live-work units
1.
In all NC zones and C zones live-work units are permitted outright subject to the provisions of this Title 23.
2.
In pedestrian-designated zones, live-work units shall not occupy more than 20 percent of the street-level street-facing facade along designated principal pedestrian streets listed in subsection 23.47A.005.D.
3.
In the Lake City and Bitter Lake Village Hub Urban Villages, live-work units shall not occupy more than 20 percent of the street-level street-facing facade.
4.
Except where expressly treated as a residential use, live-work units shall be deemed a nonresidential use.
H.
Adult cabarets
1.
Any lot line of property containing any proposed new or expanding adult cabaret must be 800 feet or more from any lot line of property on which any of the following uses has been established by permit or otherwise recognized as a legally established use: community center; child care center; school, elementary or secondary; or public parks and open space use.
2.
Any lot line of property containing any proposed new or expanding adult cabaret must be 600 feet or more from any lot line of property for which a permit has been issued for any other adult cabaret.
3.
The dispersion analysis required by subsections 23.47A.004.H.1 and 23.47A.004.H.2 shall be based on the facts that exist on the earlier of:
a.
The date a complete application for a building permit for an adult cabaret for the property proposed to contain the new or expanding adult cabaret is made, or
b.
The date of publication of notice of the Director's decision on the Master Use Permit application to establish or expand an adult cabaret use, if the decision can be appealed to the Hearing Examiner, or the date of the Director's decision if no Hearing Examiner appeal is available.
I.
The terms of Table A for 23.47A.004 are subject to any applicable exceptions or contrary provisions expressly provided for in this Title 23.
(Ord. 127228, § 7, 2025; Ord. 127099, § 22, 2024; Ord. 127098, § 4, 2024; Ord. 126855, § 16, 2023; Ord. 126626, § 3, 2022; Ord. 126287, § 4, 2021; Ord. 126131, § 6, 2020; Ord. 125558, § 14, 2018; Ord. 125272, § 24, 2017; Ord. 124969, § 5, 2016; Ord. 124947, § 1, 2015; Ord. 124843, § 29, 2015; Ord. 124610, § 1, 2014; Ord. 124608, § 8, 2014; Ord. 124378, § 38, 2013; Ord. 123872, § 2, 2012; Ord. 123378, § 16, 2010; Ord. 123046, §§ 30, 65, 2009; Ord. 122935, § 2, 2009; Ord. 122411, §§ 2, 3, 2007; Ord. 122311, § 44, 2006.)
A.
The requirements of this Section 23.47A.005 apply in addition to the other applicable requirements of this Title 23.
B.
Mini-warehouses, warehouses, or utility uses may not abut a street-level, street-facing facade in a structure that contains more than one residential dwelling unit.
C.
Residential uses at street level
1.
In all NC and C zones, residential uses may occupy, in the aggregate, no more than 20 percent of the street-level street-facing facade in the following circumstances or locations:
a.
In a pedestrian-designated zone, facing a designated principal pedestrian street; or
b.
In all NC and C1 zones within the Bitter Lake Village Hub Urban Village, except lots abutting Linden Avenue North, north of North 135th Street; or
c.
Within a zone that has a height limit of 85 feet or higher, except as provided in subsection 23.47A.005.C.2; or
d.
Within an NC1 zone, except as provided in subsection 23.47A.005.C.2; or
e.
In all NC and C1 zones within the Northgate Overlay District, except as provided in Section 23.71.044; or
f.
In all NC and C1 zones within the areas shown on Maps A through D for 23.47A.005 at the end of this Chapter 23.47A when facing an arterial street.
2.
Subsection 23.47A.005.C.1 notwithstanding, there is no restriction on the location of residential uses in the following circumstances:
a.
The development is low-income housing; or
b.
The residential use is an assisted living facility or nursing home and private living units are not located at street level; or
c.
Within the Pike/Pine Conservation Overlay District, for street-facing facades that do not face a designated principal pedestrian street, as shown on Map A for 23.73.008; or
d.
In a structure existing on January 1, 2012, that is within an NC1 zone but not located in an area defined in Maps A through D for 23.47A.005, at the end of this Chapter 23.47A, a live-work space may be converted to an accessory dwelling unit if the residential use is established, if the area proposed to be converted meets the minimum housing standards of Chapter 22.206.
3.
Additions to, or on-site accessory structures for, existing single-family structures are permitted outright.
4.
Where residential uses at street level are limited to 20 percent of the street-level, street-facing facade, such limits do not apply to residential structures separated from the street lot line by an existing structure meeting the standards of this Section 23.47A.005 and Section 23.47A.008, or by an existing structure legally nonconforming to those standards.
D.
In pedestrian-designated zones the locations of uses are regulated as follows:
1.
Along designated principal pedestrian streets, one or more of the following uses are required along 80 percent of the street-level, street-facing facade in accordance with the standards provided in subsection 23.47A.008.C.
a.
Arts facilities;
b.
Community gardens;
c.
Eating and drinking establishments;
d.
Entertainment uses, except for adult cabarets, adult motion picture theaters, and adult panorams;
e.
Food processing and craft work;
f.
Institutions, except hospitals or major institutions;
g.
Lodging uses;
h.
Medical services;
i.
Offices, provided that no more than 30 feet of the street-level, street-facing facade of a structure may contain an office use;
j.
Parks and open spaces;
k.
Rail transit facilities;
l.
Retail sales and services, automotive, in the Pike/Pine Conservation Overlay District if located within an existing structure or within a structure that retains a character structure as provided in Section 23.73.015;
m.
Sales and services, general, provided that no more than 40 feet of the street-level, street-facing facade of a structure on a principal pedestrian street may contain a customer services office;
n.
Sales and services, heavy, except for heavy commercial sales, and provided that no more than 30 feet of the street-level, street-facing facade of a structure may contain a non-household sales and service use; and
o.
Low-income housing.
The establishment of any such use is subject to the applicable use provisions of this Title 23.
2.
The following streets are principal pedestrian streets when located within a pedestrian-designated zone:
10th Avenue;
11th Avenue;
12th Avenue;
13th Avenue, between East Madison Street and East Pine Street;
14th Avenue South, except within the North Beacon Hill Residential Urban Village;
15th Avenue East;
15th Avenue Northeast, north of Lake City Way Northeast;
15th Avenue Northwest;
15th Avenue South;
17th Avenue Northwest;
20th Avenue Northwest;
22nd Avenue Northwest;
23rd Avenue;
24th Avenue Northwest;
25th Avenue Northeast;
32nd Avenue West;
35th Avenue Northeast, except within the Lake City Hub Urban Village;
35th Avenue Southwest, except within the West Seattle Junction Hub Urban Village;
39th Avenue Northeast;
Aurora Ave North, except within the Bitter Lake Village Hub Urban Village;
Ballard Avenue Northwest;
Beacon Avenue South;
Boren Avenue;
Boylston Avenue, except within the Pike/Pine Conservation Overlay District;
Broadway;
Broadway East;
California Avenue Southwest;
Delridge Way Southwest;
Dexter Avenue North;
East Green Lake Drive North;
East Green Lake Way North;
East Madison Street;
East Olive Way;
East Pike Street;
East Pine Street;
East Union Street, except within the Pike/Pine Conservation Overlay District only lots abutting East Union Street between Broadway and East Madison Street;
Eastlake Avenue East;
First Avenue North, except within the Upper Queen Anne Residential Urban Village;
Fremont Avenue North;
Fremont Place North;
Galer Street;
Green Lake Drive North;
Greenwood Avenue North;
Lake City Way Northeast;
Leary Avenue Northwest;
Linden Avenue North;
Madison Street;
Martin Luther King Jr. Way South;
Mary Avenue Northwest, between Holman Road Northwest and Northwest 87th Street;
Mercer Street;
North 34th Street;
North 35th Street;
North 45th Street;
North 85th Street;
Northeast 43rd Street;
Northeast 45th Street, except between Linden Ave North and Evanston Ave North;
Northeast 55th Street, east of 15th Avenue Northeast;
Northeast 65th Street;
Northeast 125th Street;
Northwest 65th Street;
Northwest 85th Street;
Northwest 90th Street, between Mary Avenue Northwest and 14th Avenue Northwest;
Northwest Market Street;
Phinney Avenue North, between North 58th Street and North 63rd Street;
Pike Street;
Pine Street;
Queen Anne Avenue North;
Rainier Avenue South;
Roosevelt Way Northeast;
Roy Street;
Sand Point Way Northeast;
South Alaska Street;
South Cloverdale Street;
South Henderson Street;
South Jackson Street;
South Lander Street;
South McClellan Street;
South Othello Street;
Southwest Alaska Street;
Stone Way North;
Summit Avenue, except within the Pike/Pine Conservation Overlay District;
Terry Avenue;
University Way Northeast;
Wallingford Avenue North;
West Dravus Street;
West Galer Street;
West Green Lake Drive North;
West McGraw Street, except within the Upper Queen Anne Residential Urban Village; and
Woodlawn Avenue Northeast.
(Ord. 126855, § 17, 2023; Ord. 126287, § 5, 2021; Ord. 125791, § 49, 2019; Ord. 125272, § 25, 2017; Ord. 125125, § 2, 2016; Ord. 125103, § 2, 2016; Ord. 125081, § 2, 2016; Ord. 124770, § 4, 2015; Ord. 124503, § 2, 2014; Ord. 124378, § 39, 2013; Ord. 123939, § 11, 2012; Ord. 123816, § 3, 2012; Ord. 123589, § 8, 2011; Ord. 123046, § 1, 2009; Ord. 123020, § 9, 2009; Ord. 122935, § 3, 2009; Ord. 122311, § 44, 2006.)
A.
The following uses, where identified as administrative conditional uses on Table A for 23.47A.004, or other uses identified in this Section 23.47A.006, may be permitted by the Director when the provisions of both Section 23.42.042 and this subsection 23.47A.006.A are met:
1.
Drinking establishments. Drinking establishments in NC1 and NC2 zones may be permitted as a conditional use subject to the following:
a.
The size of the drinking establishment, design of the structure, signing and illumination must be compatible with the character of the commercial area and other structures in the vicinity, particularly in areas where a distinct and definite pattern or style has been established.
b.
The location, access and design of parking must be compatible with adjacent residential zones.
c.
Special consideration will be given to the location and design of the doors and windows of drinking establishments to help ensure that noise standards will not be exceeded. The Director may require additional setbacks and/or restrict openings where the drinking establishment is located on a lot that abuts or is across from a residential zone.
d.
Drinking establishments must not generate traffic that creates traffic congestion or further worsens spillover parking on residential streets.
2.
Park and ride facilities. Park and ride facilities on surface parking lots in NC2, NC3, C1, and C2 zones may be permitted as conditional uses in a Type II decision, subject to the following:
a.
The park and ride facility shall have direct vehicular access to a designated arterial improved to City standards in subsection 23.53.015.B.
b.
If the proposed park and ride facility is located on a lot containing required accessory parking for other uses, there must be no substantial conflict in the principal operating hours of the park and ride facility and other uses on the lot.
c.
The Director may require noise mitigation, vehicular access control, signage restrictions, landscaping and screening in addition to that required for surface parking areas, and other measures to provide comfort and safety for pedestrians and bicyclists. The purpose of these measures is to ensure the compatibility of the park and ride facility with the surrounding area.
3.
Residential Uses in C2 zones.
a.
Residential uses may be permitted in C2 zones as a conditional use subject to the following criteria:
1)
The residential use generally should not be located in an area with direct access to major transportation systems such as freeways, state routes and freight rail lines.
2)
The residential use generally should not be located in close proximity to industrial areas and/or nonresidential uses or devices that have the potential to create a nuisance or adversely affect the desirability of the area for living purposes as indicated by one of the following:
i.
The nonresidential use is prohibited in the NC3 zone;
ii.
The nonresidential use or device is classified as a major noise generator; or
iii.
The nonresidential use is classified as a major odor source.
3)
In making a determination to permit or prohibit residential uses in C2 zones, the Director shall take the following factors into account:
i.
The distance between the lot in question and major transportation systems and potential nuisances;
ii.
The presence of physical buffers between the lot in question and major transportation systems and potential nuisance uses;
iii.
The potential cumulative impacts of residential uses on the availability for nonresidential uses of land near major transportation systems; and
iv.
The number, size and cumulative impacts of potential nuisances on the proposed residential uses.
b.
Residential uses required to obtain a shoreline conditional use permit are not required to obtain an administrative conditional use permit.
c.
Additions to, and accessory structures on the same lot as, existing residential structures are permitted outright.
4.
Medical service uses. Medical service uses over 10,000 square feet, outside but within 2,500 feet of a medical Major Institution overlay district boundary, may be approved as administrative conditional uses, except that they are permitted outright if included in an adopted master plan or dedicated to veterinary services. In order to approve a medical service use under this subsection, the Director must determine that an adequate supply of commercially zoned land for businesses serving neighborhood residents will continue to exist. The following factors will be used in making this determination:
a.
Whether the amount of medical service uses existing and proposed in the vicinity would result in an area containing a concentration of medical services with few other uses; and
b.
Whether medical service uses would displace existing neighborhood-serving commercial uses at street level or disrupt a continuous commercial street front, particularly of general sales and services uses, or significantly detract from an area's overall neighborhood-serving commercial character.
5.
Change of One Nonconforming Use to Another. A nonconforming use may be converted by an administrative conditional use authorization to a use not otherwise permitted in the zone based on the following factors:
a.
New uses are limited to those permitted in the next more intensive zone;
b.
The relative impacts of size, parking, traffic, light, glare, noise, odor and similar impacts of the two uses, and how these impacts could be mitigated; and
c.
The Director must find that the new nonconforming use is no more detrimental to property in the zone and vicinity than the existing nonconforming use.
6.
Lodging uses in NC2 zones are permitted up to 25,000 square feet, when all of the following conditions are met, except that bed and breakfasts in existing structures are permitted outright with no maximum size limit:
a.
The lodging use contains no more than fifty units;
b.
The design of the development, including but not limited to signing and illumination, is compatible with surrounding commercial areas; and
c.
Auto access is via an arterial street.
7.
A recycling use that is located on the same development site as a solid waste transfer station may be permitted as a conditional use in Commercial 2 (C2) zones subject to the following additional provisions:
a.
Accessory structures including entrance/exit kiosks, walls, screening, and other minor incidental improvements, are permitted;
b.
A setback of at least 65 feet is provided between any façade of the principal structure containing the recycling use and any lot line that abuts or is across a street from a residentially zoned lot;
c.
Trucks allowed to access the recycling use to drop off recyclables shall not exceed a maximum of two axles;
d.
Rooftop features on the principal structure shall not exceed the maximum height limit of the zone;
e.
All transfer, handling, and compacting of recyclable materials shall be conducted within an enclosed structure;
f.
Outdoor storage is prohibited.
g.
60 percent of the C2-zoned portion of the development site is maintained as open space. For these purposes, surface parking and driveways are not considered open space.
h.
Office use and crew space use accessory to a solid waste transfer station use on the same development site may be allowed within a structure containing a recycling use.
8.
Parking and driveways accessory to a solid waste transfer station. Parking and driveways on property in a C2 zone are permitted as a conditional use accessory to a solid waste transfer station according to the following provisions:
a.
The parking is on property that is part of the same development site as the solid waste transfer station use;
b.
The parking meets the criteria of Section 23.50.014.A;
c.
The parking is subject to analysis in a transportation plan, if a transportation plan is required by the Director pursuant to subsection 23.50.014.B.7.c.
d.
Surface parking is not across the street from a residentially zoned lot.
e.
A setback of at least 65 feet is required between surface parking spaces and any lot line that abuts or is across a street from a commercially zoned lot; and
f.
Driveways providing access to parking or access to the solid waste transfer station are on the same development site as the solid waste transfer station use.
B.
The following uses, identified as Council Conditional Uses on Table A of Section 23.47A.004, may be permitted by the Council when the provisions of Section 23.42.042 are met, subject to the following additional provisions:
1.
In C1 and C2 zones, new bus bases for 150 or fewer buses, and existing bus bases that are proposed to be expanded to accommodate additional buses, according to the following standards and criteria.
a.
The bus base has vehicular access, suitable for use by buses, to a designated arterial improved to City standards; and
b.
The lot includes adequate buffering from the surrounding area and the impacts created by the bus base have been effectively mitigated.
c.
The Council may require mitigating measures, which may include, but are not limited to:
1)
Noise mitigation,
2)
An employee ridesharing program,
3)
Landscaping and screening,
4)
Odor mitigation,
5)
Vehicular access controls, and
6)
Other measures to ensure the compatibility of the bus base with the surrounding area.
2.
Helistops in NC3, C1 and C2 zones as accessory uses, according to the following:
a.
The helistop is used solely for the takeoff and landing of helicopters serving public safety, news gathering or emergency medical care functions; is a public facility that is part of a City and regional transportation plan approved by the City Council; or is part of a City and regional transportation plan approved by the City Council and is not within 2,000 feet of a residential zone.
b.
The helistop is located so as to minimize impacts on surrounding areas.
c.
The lot includes sufficient buffering of the operations of the helistop from the surrounding area.
d.
Open areas and landing pads are hard-surfaced.
e.
The helistop meets all federal requirements, including those for safety, glide angles and approach lanes.
3.
Work-release centers in all NC zones and C zones, according to the following standards and criteria:
a.
Maximum Number of Residents. No work-release center may house more than 50 persons, excluding resident staff.
b.
Dispersion Criteria.
1)
Each lot line of any new or expanding work-release center must be located 600 feet or more from any residential zone, any lot line of any assisted living facility, congregate residence, domestic violence shelter or nursing home, and any lot line of any school.
2)
Each lot line of any new or expanding work-release center must be located one mile or more from any lot line of any other work-release center.
c.
The Council's decision shall be based on the following criteria, after review by the Director and the Seattle Police Department:
1)
The applicant must demonstrate the need for the new or expanding facility in the City;
2)
The applicant must demonstrate that the facility can be made secure through a security plan to appropriately monitor and control residents, through a staffing plan for the facility, and through compliance with the security standards of the American Corrections Association;
3)
Proposed lighting must be located so as to minimize spillover light on surrounding properties while maintaining appropriate intensity and hours of use to ensure that security is maintained;
4)
The facility's landscape plan must meet the requirements of the zone while allowing visual supervision of the residents of the facility;
5)
Appropriate measures must be taken to minimize noise impacts on surrounding properties;
6)
The impacts of traffic and parking must be mitigated;
7)
The facility must be well-served by public transportation or the facility must demonstrate a commitment to a program of encouraging the use of public or private mass transportation;
8)
Verification from the Department of Corrections (DOC) must be provided that the proposed work-release center meets DOC standards for such facilities and that the facility will meet state laws and requirements.
(Ord. 125558, § 15, 2018; Ord. 123872, § 3, 2012; Ord. 123209, § 53, 2009; Ord. 123046, § 65, 2009; Ord. 122935, § 4, 2009; Ord. 122311, § 44, 2006.)
A.
An applicant may seek approval of a Major Phased Development, as defined in Section 23.84A.025. A Major Phased Development proposal is subject to the provisions of the zone in which it is located and shall meet the following thresholds:
1.
A minimum site size of five (5) acres, composed of contiguous parcels or parcels divided only by one or more rights-of-way.
2.
The proposed project, which at time of application is a single, functionally interrelated campus, contains more than one building, with a minimum total gross floor area of two hundred thousand (200,000) square feet.
3.
The first phase of the development consists of at least one hundred thousand (100,000) square feet in gross building floor area.
4.
At the time of application, the project is consistent with the general character of development anticipated by Land Use Code regulations.
B.
A Major Phased Development application shall be submitted, evaluated, and approved according to the following:
1.
The application shall contain a level of detail that is sufficient to reasonably assess anticipated impacts, including those associated with a maximum build-out, within the timeframe requested for Master Use Permit extension.
2.
A Major Phased Development component shall not be approved unless the Director concludes that anticipated environmental impacts, such as traffic, open space, shadows, construction impacts and air quality, are not significant or can be effectively monitored and conditions imposed to mitigate impacts over the extended life of the permit.
3.
Expiration or renewal of a permit for the first phase of a Major Phased Development is subject to the provisions of Chapter 23.76, Master Use Permits and Council Land Use Decisions. The Director shall determine the expiration date of a permit for subsequent phases of the Major Phased Development through the analysis provided for above; such expiration shall be no later than fifteen (15) years from the date of issuance.
C.
Changes to the approved Major Phased Development.
1.
When an amendment to a Master Use Permit with a Major Phased Development component is requested, the Director shall determine whether the amendment is minor or not.
a.
A minor amendment is one that meets the following criteria:
(1)
Substantial compliance with the approved site plan and conditions imposed in the existing Master Use Permit with the Major Phased Development component with no substantial change in the mix of uses and no major departure from the bulk and scale of structures originally proposed; and
(2)
Compliance with applicable requirements of this title in effect at the time of the original Master Use Permit approval; and
(3)
No significantly greater impact would occur.
2.
If the Director determines that the amendment is minor, the Director may approve a revised site plan as a Type I decision. The Master Use Permit expiration date of the original approval shall be retained.
3.
If the Director determines that the amendment is not minor, the applicant may either continue under the existing MPD approval or may submit a revised MPD application. The revised application shall be the subject of a Type II decision. Only the portion of the site affected by the revision shall be subject to regulations in effect on the date of the revised MPD application, notwithstanding any provision of Chapter 23.76. The decision may retain or extend the existing expiration date on the portion of the site affected by the revision.
(Ord. 122311, § 44, 2006.)
A.
Basic street-level requirements
1.
The provisions of this subsection 23.47A.008.A apply to:
a.
Structures in NC zones;
b.
Structures that contain a residential use in C zones;
c.
Structures in C zones across the street from residential zones; and
d.
All structures in pedestrian-designated zones.
2.
Blank facades
a.
For purposes of this Section 23.47A.008, facade segments are considered blank if they do not include at least one of the following:
1)
Windows;
2)
Entryways or doorways;
3)
Stairs, stoops, or porticos;
4)
Decks or balconies; or
5)
Screening and landscaping on the facade itself.
b.
Blank segments of the street-facing facade between 2 feet and 8 feet above the sidewalk may not exceed 20 feet in width.
c.
The total of all blank facade segments may not exceed 40 percent of the width of the facade of the structure along the street.
3.
Street-level, street-facing facades shall be located within 10 feet of the street lot line, unless wider sidewalks, plazas, or other approved landscaped or open spaces are provided.
B.
Non-residential street-level requirements
1.
In addition to the provisions of subsection 23.47A.008.A, the provisions of this subsection 23.47A.008.B apply to:
a.
Structures with street-level non-residential uses in NC zones;
b.
Structures with street-level non-residential uses that also contain residential uses in C zones;
c.
Structures with street-level non-residential uses in C zones across the street from residential zones; and
d.
All structures in pedestrian designated zones.
2.
Transparency
a.
Sixty percent of the street-facing facade between 2 feet and 8 feet above the sidewalk shall be transparent. For purposes of calculating the 60 percent of a structure's street-facing facade, the width of a driveway at street level, not to exceed 22 feet, may be subtracted from the width of the street-facing facade if the access cannot be provided from an alley or from a street that is not a designated principal pedestrian street.
b.
Transparent areas of facades shall be designed and maintained to provide views into and out of the structure. Except for institutional uses, no permanent signage, window tinting or treatments, shelving, other furnishings, fixtures, equipment, or stored items shall completely block views into and out of the structure between 4 feet and 7 feet above adjacent grade. The installation of temporary signs or displays that completely block views may be allowed if such temporary sign complies with subsection 23.55.012.B.
3.
Depth provisions for new structures or new additions to existing structures
a.
Non-residential uses greater than 600 square feet shall extend an average depth of at least 30 feet and a minimum depth of 15 feet from the street-level, street-facing facade.
b.
In pedestrian designated zones, non-residential uses less than 600 square feet in size shall extend an average depth of at least 20 feet and a minimum depth of 10 feet from the street-level, street-facing facade.
c.
If the combination of the requirements of Sections 23.47A.005 or 23.47A.008 and these depth requirements would result in a requirement that an area greater than 50 percent of the structure's footprint be dedicated to non-residential use, the Director may modify the street-facing facade or depth requirements, or both, so that no more than 50 percent of the structure's footprint is required to be non-residential.
4.
Height provisions for new structures or new additions to existing structures. Non-residential uses at street level shall have a floor-to-floor height of at least 13 feet.
C.
In addition to the provisions of subsections 23.47A.008.A and 23.47A.008.B, the following standards also apply in pedestrian designated zones:
1.
A minimum of 80 percent of the width of a structure's street-level street-facing facade that faces a principal pedestrian street shall be occupied by uses listed in subsection 23.47A.005.D.1. The remaining 20 percent of the street frontage may contain other permitted uses and/or pedestrian entrances (see Exhibit A for 23.47A.008).
Exhibit A for 23.47A.008
Uses and pedestrian access allowed along street-level, street-facing facades
2.
For purposes of calculating the 80 percent of a structure's street-level facade, the width of a driveway at street level, not to exceed 22 feet, may be subtracted from the width of the street-facing facade if the access cannot be provided from an alley or from a street that is not a designated principal pedestrian street.
3.
If the street-facing facade and depth requirements would result in a requirement that an area greater than 50 percent of the structure's footprint be dedicated to the uses in subsection 23.47A.005.D.1, the Director may modify the street-facing facade or depth requirements, or both, so that no more than 50 percent of the structure's footprint is required to be dedicated to the uses in subsection 23.47A.005.D.1.
4.
Overhead weather protection
a.
Continuous overhead weather protection (i.e., canopies, awnings, marquees, and arcades) is required along at least 60 percent of the street frontage of a structure on a principal pedestrian street, except for structures within the Pike/Pine Conservation Overlay District on lots that contain a character structure as provided in Chapter 23.73.
b.
The covered area shall have a minimum width of 6 feet, unless there is a conflict with existing or proposed street trees or utility poles, in which case the width may be adjusted to accommodate such features as provided in subsection 23.47A.008.C.4.f.
c.
The overhead weather protection must be provided over the sidewalk, or over a walking area within 10 feet immediately adjacent to the sidewalk. When provided adjacent to the sidewalk, the covered walking area must be at the same grade or within 18 inches of sidewalk grade and meet Washington state requirements for barrier-free access.
d.
The lower edge of the overhead weather protection shall be a minimum of 8 feet and a maximum of 12 feet above the sidewalk for projections extending a maximum of 6 feet. For projections extending more than 6 feet from the structure, the lower edge of the weather protection shall be a minimum of 10 feet and a maximum of 15 feet above the sidewalk.
e.
Adequate lighting for pedestrians shall be provided. The lighting may be located on the facade of the building or on the overhead weather protection.
f.
Where the standards listed in this subsection 23.47A.008.C.4 conflict with the vertical and horizontal clearance requirements in the street rights-of-way, the standards may be modified by the Director in consultation with the Director of Transportation.
5.
Maximum width and depth limits
a.
The maximum width and depth of a structure, or of a portion of a structure for which the limit is calculated separately according to subsection 23.47A.008.C.5.b, is 250 feet, except as otherwise provided in subsection 23.47A.008.C.5.c. Structure width may exceed 250 feet if the structure complies with the modulation standards in subsection 23.47A.014.D.
b.
For purposes of this subsection 23.47A.008.C.5, the width and depth limits shall be calculated separately for a portion of a structure if:
1)
There are no connections allowing direct access, such as hallways, bridges, or stairways, between that portion of a structure and other portions of a structure; or
2)
The only connections between that portion of a structure and other portions of a structure are in stories, or portions of stories, that are underground or extend no more than 4 feet above the sidewalk, measured at any point above the sidewalk elevation to the floor above the partially below-grade story, excluding access.
c.
For purposes of this subsection 23.47A.008.C.5, the following portions of a structure shall not be included in measuring width and depth:
1)
Designated Landmark structures that are retained on the lot.
2)
Stories of a structure on which more than 50 percent of the total gross floor area is occupied by any of the following uses:
a)
Arts facilities;
b)
Community clubs or community centers;
c)
Child care centers;
d)
Elementary or secondary schools;
e)
Performing arts theaters; or
f)
Religious facilities.
6.
Space for small commercial uses at street level
a.
Except as provided in subsection 23.47A.008.C.6.c, all structures abutting a principal pedestrian street that include more than 5,000 square feet of street-level commercial uses shall include small commercial spaces meeting the requirements of subsection 23.47A.008.C.6.b in the quantity required by Table A for 23.47A.008.C.
b.
Requirements for small commercial spaces. The required small commercial spaces must:
1)
Contain only commercial uses;
2)
Be a minimum of 300 square feet and a maximum of 1,500 square feet;
3)
Have an entrance for pedestrians from the street or from a street-oriented courtyard that is no more than 3 feet above or below the sidewalk grade; and
4)
Be separated from other commercial spaces by a physical divider such as a wall or partition.
c.
Exception. The requirements of this subsection 23.47A.008.C.6 do not apply to structures with more than 50 percent of the total street-level gross floor area occupied by any of the following uses:
1)
Arts facilities;
2)
Child care centers;
3)
Colleges;
4)
Community clubs or community centers;
5)
Libraries;
6)
Institutes for advanced study;
7)
Museums;
8)
Performing arts theatres;
9)
Grocery stores less than 15,000 square feet;
10)
Elementary or secondary schools;
11)
Religious facilities;
12)
Vocational or fine arts schools; or
13)
Shopping atriums, where multiple businesses operate within a contiguous space.
d.
As a Type I decision, the Director may waive the requirements of subsection 23.47A.008.C.6. The Director's decision shall be based on the availability of existing small commercial spaces on a principal pedestrian street:
1)
Within the same urban village as the structure;
2)
Within 400 lineal feet of the structure, if the structure is located within an urban center; or
3)
Within the same pedestrian-designated zone as the structure on the same principal pedestrian street, if the structure is located outside of an urban village or urban center.
D.
Where residential uses are located along a street-level, street-facing facade, the following requirements apply unless exempted by subsection 23.47A.008.G:
1.
At least one of the street-level, street-facing facades containing a residential use shall have a visually prominent pedestrian entry; and
2.
The floor of a dwelling unit located along the street-level, street-facing facade shall be at least 4 feet above or 4 feet below sidewalk grade or be set back at least 10 feet from the sidewalk. An exception to the standards of this subsection 23.47A.008.D.2 may be granted as a Type I decision if the following criteria are met:
a.
An accessible route to the unit is not achievable if the standard is applied or existing site conditions such as topography make access impractical if the standard is applied;
b.
The floor is at least 18 inches above average sidewalk grade or 4 feet below sidewalk grade, or is set back at least 10 feet from the sidewalk; and
c.
The visually prominent pedestrian entry is maintained.
E.
When a live-work unit is located on a street-level, street-facing facade, the provisions of subsections 23.47A.008.A and 23.47A.008.B, and the following requirements, apply:
1.
The portion of each such live-work unit in which business is conducted must be a minimum of 300 square feet and must be located between the street and the residential portion of the live-work unit. The non-residential portions of the unit shall extend the width of the street-level, street-facing facade, shall extend a minimum depth of 15 feet from the street-level, street-facing facade, and shall not contain any of the primary features of the residential (live) portion of the live-work unit, such as kitchen, sleeping, or laundry facilities, or bathrooms containing a shower or bathtub. These basic residential features shall be designed and arranged to be separated from the work portion of the live-work unit by a physical divider such as a wall or partition.
2.
Each live-work unit must have a pedestrian entry on the street-facing facade that is designed to be visually prominent and provide direct access to the non-residential portions of the unit.
3.
Each live-work unit must include an exterior sign with the name of the business associated with the live-work unit. Such signage shall be clearly associated with the unit and visible to pedestrians outside of the building.
4.
The owner of each live-work unit must keep a copy of the current business license associated with the business located in that unit on file.
F.
The Director may allow exceptions to the street-level requirements of this Section 23.47A.008, as a Type I decision, for projects that are not subject to the Design Review process, except that in a pedestrian-designated zone exceptions may not be granted for requirements for residential uses at street level, transparency requirements, or floor-to-floor height requirements as described in subsection 23.41.012.B. Exceptions may be granted if the Director determines that the project will maintain the safety and aesthetics of the streetscape for pedestrians and will:
1.
Maintain pedestrian access to the structure;
2.
Maintain urban form consistent with adjacent structures and previous design review decisions on the site;
3.
Maintain the visibility of non-residential uses;
4.
Maintain the privacy of residential uses; or
5.
Allow the continued use of an existing structure without substantial renovation.
G.
In a structure existing on January 1, 2012, an accessory dwelling unit may be established if it is accessory to an existing dwelling unit and if it meets minimum housing standards of Chapter 22.206, even if nonconforming to standards of subsection 23.47A.008.D.
(Ord. 126157, § 23, 2020; Ord. 125791, § 50, 2019; Ord. 125603, § 26, 2018; Ord. 125272, § 26, 2017; Ord. 124770, § 5, 2015; Ord. 124378, § 40, 2013; Ord. 123939, § 12, 2012; Ord. 122935, § 5, 2009; Ord. 122311, § 44, 2006.)
A.
Resolution of standards conflicts. To the extent there is a conflict between this Section 23.47A.009 and other sections of Title 23, the provisions of this Section 23.47A.009 apply.
B.
West Seattle Junction Hub Urban Village. The following provisions apply to development in the NC3 95 zone located between SW Alaska Street, SW Edmunds Street, Fauntleroy Way SW, and 40th Ave SW:
1.
Lot coverage limit. The maximum lot coverage permitted for principal and accessory structures shall not exceed 80 percent on lots 40,000 square feet in size or greater.
2.
The total permitted FAR is as identified in Section 23.47A.013.
3.
Maximum width of structures. The maximum width of all portions of a structure measured parallel to a north-south street lot line is 275 feet.
4.
Setback and separation requirements
a.
The following standards apply to structures greater than 250 feet in width measured parallel to a north-south street lot line:
1)
A minimum separation of 30 feet is required between structures that are adjacent to the same north-south street lot line; and
2)
A minimum setback of 15 feet is required from side lot lines that are not street side lot lines and that separate lots that abut the same north-south street lot line; and
3)
Structures permitted in required setback and separation areas pursuant to this subsection 23.47A.009.B.4.a and subsection 23.47A.009.B.4.b are subject to subsection 23.47A.014.G. In addition:
a)
Decks with open railings may project up to 5 feet into the required setback or separation area if they are no lower than 20 feet above existing or finished grade. Decks may cover no more than 20 percent of the total setback or separation area.
b)
Unenclosed porches or steps for residential units no higher than 4 feet above the grade at the street lot line closest to the porch are permitted.
b.
A setback of at least 10 feet from the street lot line is required along non-arterial north-south avenues for at least 25 percent of the lot frontage or 100 feet of the lot frontage, whichever is less.
c.
Required setback and areas separating structures identified in subsections 23.47A.009.B.4.a and 23.47A.009.B.4.b shall include landscaping, paving, and lighting. Sidewalks for pedestrian access, plazas, or other approved amenity or landscaped areas are permitted in required setback or separation areas.
d.
Upper-level setback requirements along SW Alaska Street
1)
Structures exceeding 65 feet in height on lots abutting SW Alaska Street between 38th Avenue SW and California Avenue SW shall maintain a minimum setback of 10 feet for that portion of the structure between 45 feet and 55 feet in height.
2)
For portions of a structure above 55 feet in height, an additional minimum setback is required at a rate of at least 1 foot of setback for every 5 feet of height that exceeds 55 feet, up to the maximum allowable height.
3)
Structures located within 100 feet of Fauntleroy Way SW are exempt from the upper-level setback requirement.
4)
Heights in this subsection 23.47A.009.B.4.d shall be measured from the middle of the street lot line along SW Alaska Street.
C.
Bitter Lake Village Hub Urban Village. Development on lots designated on Map A for 23.47A.009 shall meet the following requirements:
Map A for 23.47A.009
Standards Applicable to Specific Areas: Bitter Lake
1.
Upper-level setback requirement. The following standards apply to development on lots abutting the east side of Linden Ave North or along both sides of the corridor required in subsection 23.47A.009.C.2.
a.
Any portion of a structure greater than 45 feet in height, measured from the finished grade along the street property line that abuts Linden Avenue North or along the access corridor required in subsection 23.47A.009.C.2, measured from the finished grade along the edge of the access corridor, shall set back an average of 10 feet from the lot line abutting Linden Avenue North or from the edge of the access corridor as measured according to Section 23.86.012. The maximum depth of a setback that can be used for calculating the average setback is 20 feet.
b.
Structures permitted in required setbacks are subject to subsection 23.47A.014.G.
2.
Corridor requirement. An access corridor shall be provided on lots over 8 acres that abut Linden Avenue North and Aurora Avenue North, to connect Linden Avenue North and Aurora Avenue North. The location of the proposed corridor shall be clearly shown on the site plan that is submitted with the permit application.
a.
The corridor shall have a minimum width of 40 feet and a maximum width of 60 feet.
b.
The point at which the corridor intersects Linden Avenue North and Aurora Avenue North shall be at least 335 feet south of the south boundary of the North 135th Street right-of-way, and 700 feet north of the north boundary of the North 130th Street right-of-way, as illustrated by example in Map A for 23.47A.009.
c.
The corridor shall include a minimum of one walkway, at least 6 feet wide, extending between Linden Avenue North and Aurora Avenue North. If vehicle access is provided within the corridor, the corridor shall include walkways at least 6 feet wide along both sides of the vehicle access.
d.
Landscaping shall be provided along the corridor. If vehicle access is provided within the corridor, trees shall be provided between the walkways and vehicle travel lanes. The Director will determine the number, type, and placement of trees to be provided in order to:
1)
Match trees to the available space;
2)
Complement existing or planned street trees on abutting streets; and
3)
Encourage healthy growth through appropriate spacing.
e.
Pedestrian-scaled lighting shall be provided along the corridor.
f.
The corridor shall not include any features or structures except the following:
1)
Vehicle access, not more than one lane in each direction and meeting the standards of Section 23.54.030.
2)
Parking meeting the standards of Section 23.54.030 is allowed along vehicle access lanes within the corridor. Such parking is in addition to the maximum number of spaces allowed under subsection 23.54.015.C.2. The requirements of subsection 23.47A.032.A do not apply to access to parking from the corridor.
3)
Overhead horizontal building projections of an architectural or decorative character such as cornices, eaves, sills, and gutter, provided that they project no more than 18 inches from the structure facade.
4)
Ramps or other devices that provide access for the disabled and elderly and that meet the standards of the Seattle Building Code are permitted.
5)
Stairs or ramps to accommodate changes in grade.
6)
Underground structures.
7)
Unenclosed porches or steps for residential units no higher than 4 feet above the finished grade of the corridor are permitted to project no more than 4 feet into the corridor.
8)
Green stormwater infrastructure.
9)
Features required elsewhere in this subsection 23.47A.009.C.2.
10)
The Director may approve other features or structures, such as overhead weather protection, signage, and art, that do not impede safe access from the site to Linden Avenue North and Aurora Avenue North, and that enhance pedestrian comfort and safety of the corridor.
g.
If the area proposed for development on a site meeting the size threshold for this subsection 23.47A.009.C.2 is less than the full lot, the Director may waive or modify the access corridor requirement, if the applicant submits a site plan demonstrating how Linden Avenue North and Aurora Avenue North will be connected by an access corridor when the remainder of the lot is developed.
D.
Roosevelt Urban Village. The following provisions apply within the area shown on Map B for 23.47A.009.
1.
Setback requirements
a.
The following setbacks are required from the listed street property lines:
1)
Northeast 66th Street. An average ground-level setback of 10 feet along the length of the street property line and a minimum upper-level setback of 4 feet. The minimum upper-level setback shall be provided in addition to the required ground-level setback at all points along the length of the street property line at 45 feet of height and above, as measured from average finished grade.
2)
Brooklyn Avenue Northeast. An average ground-level setback of 5 feet along the length of the street property line and a minimum upper-level setback of 4 feet. The minimum upper-level setback shall be provided in addition to the required ground-level setback at all points along the length of the street property line at 45 feet of height and above, as measured from average finished grade.
3)
14th Avenue Northeast. An average ground-level setback of 15 feet and a minimum ground-level setback of 5 feet along the length of the street property line and a minimum upper-level setback of 3 feet. The minimum upper-level setback shall be provided in addition to the required ground-level setback at all points along the length of the street property line at 45 feet of height and above, as measured from average finished grade.
4)
15th Avenue Northeast. A minimum ground-level setback of 5 feet along the length of the street property line and an average upper-level setback of 7 feet. The average upper-level setback shall be provided in addition to the required ground-level setback at all points along the length of the street property line at 45 feet of height and above, as measured from average finished grade.
5)
Northeast 65th Street and 12th Avenue Northeast. An average ground-level setback of 8 feet shall be provided, and the setback may include pedestrian access and circulation.
b.
Structures permitted in required setbacks are subject to subsection 23.47A.014.G, except that:
1)
Decks with open railings may project up to 5 feet into the required setback area if they are no lower than 20 feet above existing or finished grade. Decks may cover no more than 20 percent of the total setback area.
2)
Stoops or porches providing direct access to individual housing units may project up to 5 feet into the required ground-level setback area, except that portions of stoops or porches not more than 2.5 feet in height from existing or finished grade, whichever is lower, may extend to a street lot line. The 2.5-foot height limit for stoops or porches does not apply to guard rails or hand rails. Such stoops or porches shall cover no more than 20 percent of the total ground-level setback area.
3)
Fences no greater than 4 feet in height are permitted in the required ground-level setback, and up to 2 feet of additional height for architectural features such as arbors or trellises on the top of a fence is permitted. Fence height may be averaged along sloping grades for each 4 foot long segment of the fence, but in no case may any portion of the fence exceed 6 feet in height.
c.
Where required setbacks may be averaged, measurement shall be pursuant to subsection 23.86.012.A and the following:
1)
Where a building is set back more than 30 feet from a lot line at ground level, 30 feet shall be used as the ground-level setback amount for averaging purposes.
2)
Where averaging is allowed for a required upper-level setback, the measurement shall be taken horizontally from points directly above the lot line to the facade of the structure at the height where the upper-level setback is required.
2.
Landscaping. Required ground-level setbacks shall be landscaped, and may include paving and lighting to enhance pedestrian safety and comfort. Sidewalks, plazas, and other amenities or landscaped areas approved by the Director are permitted in required ground-level setbacks.
3.
Limit on commercial uses. Commercial uses are prohibited within 80 feet of the street property line of Northeast 66th Street, except within 50 feet of the intersections of Northeast 66th Street with Brooklyn Avenue Northeast, 14th Avenue Northeast, 12th Avenue Northeast, and 15th Avenue Northeast, as shown on Map B for 23.47A.009.
4.
Housing units on the ground floor. All housing units with a facade that faces Northeast 66th Street with no intervening housing units or commercial uses between the housing unit and the Northeast 66th Street lot line, and located on the first floor of a building, shall have the primary pedestrian entrance to each housing unit directly accessible from the exterior of the structure rather than a primary pedestrian entry through a common entrance hallway.
5.
Underground parking. Parking shall be located below grade, except a portion of a below-grade garage may extend up to 4 feet above existing or finished grade, whichever is lower, provided that the parking that extends above grade is fully screened from direct street view by the street-facing facade of the structure or by landscaping.
E.
Lake City. The following provisions apply to development proposed on lots that are 40,000 square feet in size or greater and located in NC zones as shown on Map C for 23.47A.009.
Map C for 23.47A.009
Lots where Lake City area-specific development standards apply
1.
Maximum lot coverage
a.
The maximum lot coverage permitted for principal and accessory structures is 80 percent of the lot area.
b.
Lot coverage exceptions. The following structures or portions of structures are not counted in the lot coverage calculation:
1)
Portions of a structure that are below grade or that do not extend more than 4 feet above the finished grade.
2)
The first 18 inches of overhead horizontal building projections of an architectural or decorative character, such as cornices, eaves, sills, and gutters.
3)
Ramps or other devices that provide access for the disabled and elderly and that meet the standards of the Seattle Building Code.
4)
The first 4 feet of unenclosed porches or steps for residential units.
c.
In the portion of the lot that is not covered by structures, owners are encouraged to provide improvements at-grade that enhance the usability and livability of the lot for occupants and visitors, such as pedestrian circulation areas, landscaping, lighting, weather protection, art, or other similar improvements.
2.
Facade modulation
a.
Facade modulation requirements apply to all portions of a structure up to a height of 35 feet and located within 10 feet of a street lot line on streets designated by Map C for 23.47A.009.
b.
The maximum width of any unmodulated facade is 100 feet. Facades longer than 100 feet shall be modulated by stepping back the facade from the street lot line for a minimum depth of 10 feet and a minimum width of 15 feet.
c.
Facade modulation requirements do not apply to portions of a structure that are below grade or that do not extend more than 2 feet above the finished grade at the lot line.
3.
Maximum structure width
a.
On streets designated by Map C for 23.47A.009, the maximum allowed structure width is 250 feet.
b.
Structure width limits do not apply to portions of a structure that are below grade or that do not extend more than 2 feet above the finished grade at the lot line.
4.
Upper-level setbacks
a.
On streets designated by Map C for 23.47A.009, a setback with an average depth of 10 feet from abutting street lot lines is required for portions of a structure above a height of 35 feet. The maximum depth of a setback that can be used to calculate the average setback is 20 feet.
b.
A setback with an average depth of 15 feet from abutting street lot lines is required for portions of a structure above a height of 65 feet. The maximum depth of a setback that can be used to calculate the average setback is 25 feet.
5.
Structures permitted in required setbacks are subject to subsection 23.47A.014.G.
F.
Ballard Hub Urban Village. The following provisions apply to development proposed in NC zones within the Ballard Hub Urban Village.
1.
Maximum lot coverage on lots 40,000 square feet in size or greater:
a.
The maximum lot coverage permitted for principal and accessory structures is 80 percent of the lot area.
b.
Lot coverage exceptions. The following structures or portions of structures are not counted in the lot coverage calculation:
1)
Portions of a structure that are below grade or that do not extend more than 4 feet above the existing or finished grade, whichever is lower.
2)
The first 18 inches of overhead horizontal building projections of an architectural or decorative character, such as cornices, eaves, sills, and gutters.
3)
Ramps or other devices that provide access for the disabled and elderly and that meet the standards of the Seattle Building Code.
4)
The first 4 feet of unenclosed porches or steps for residential units.
c.
In the 20 percent of the lot that remains uncovered, as required by this subsection 23.47A.009.F.1, not more than ten parking spaces may be provided, and applicants are encouraged to provide elements at grade that enhance the usability and livability of the lot for residents and tenants such as pedestrian circulation areas, landscaping, lighting, weather protection, art, or other similar features.
2.
Facade modulation
a.
Facade modulation requirements apply to all portions of a street-facing facade of a structure up to a height of 45 feet located within 10 feet of a street lot line, according to provisions of subsection 23.47A.009.F.2.c.
b.
The maximum width of any unmodulated street-facing facade is 100 feet. Facades longer than 100 feet shall be modulated at no greater than 100-foot intervals by stepping back the facade from the street lot line for a minimum depth of 10 feet and a minimum width of 15 feet.
c.
Facade modulation requirements do not apply to portions of a structure that are below grade or that do not extend more than 2 feet above the existing or finished grade at the street lot line, whichever is lower.
3.
Maximum structure width
a.
The maximum allowed structure width is 250 feet.
b.
Structure width limits do not apply to portions of a structure that are below grade or that do not extend more than 2 feet above the existing or finished grade at the street lot line, whichever is lower.
4.
Setback requirements
a.
Street-level setbacks
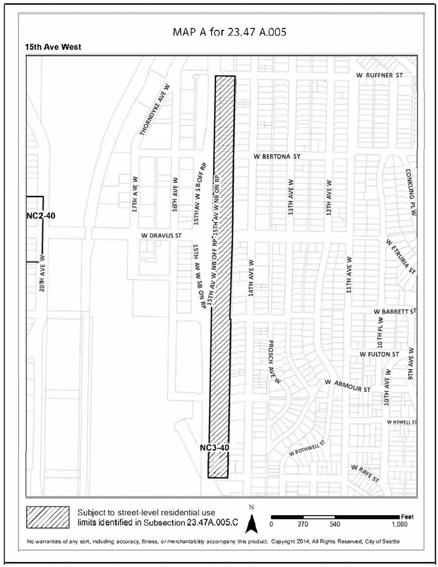
1)
In the area shown on Map D for 23.47A.009, portions of a structure up to 10 feet above the abutting sidewalk grade facing 15th Avenue NW shall be set back from the street lot line by a minimum depth of 6 feet up to a maximum depth of 10 feet.
2)
The provisions of subsection 23.47A.009.F.2 do not apply to the area described in subsection 23.47A.009.F.4.a.1.
b.
Upper-level setbacks
1)
A setback with an average depth of 10 feet from all abutting street lot lines is required for portions of a structure above a height of 45 feet. The maximum depth of a setback that can be used for calculating the average setback is 20 feet.
2)
A setback with an average depth of 15 feet from all street lot lines is required for portions of a structure above a height of 65 feet. The maximum depth of a setback that can be used for calculating the average setback is 25 feet.
5.
Structures permitted in required setback and separation areas according to this subsection 23.47A.009.F are subject to subsection 23.47A.014.G.
6.
In the area shown on Map E for Section 23.47A.009:
a.
All dwelling units shall have sound-insulating windows sufficient to maintain interior sound levels at 60 decibels or below in consideration of existing environmental noise levels at the site. The applicant shall submit an analysis of existing noise levels and documentation of the sound insulating capabilities of windows shall be indicated on the plan.
b.
All dwelling units shall have a permanently installed air cooling system and a balanced ventilation system, which may be combined. The ventilation system shall filter any outdoor air supply through filters rated MERV 13 or higher as determined by the American Society of Heating, Refrigerating, and Air Conditioning Engineers (ASHRAE). The air cooling and ventilation systems shall be indicated on the plan.
Map D for 23.47A.009
Areas Where Street-level Setbacks are Required
Map E for 23.47A.009
Areas where noise-attenuating windows and air cooling and ventilation are required
G.
University Community Urban Center. The following provisions apply to specified NC zones within the portion of the University Community Urban Center west of 15th Avenue NE.
1.
Maximum width and depth limits. The following standards apply to NC zones with a mapped height limit exceeding 40 feet:
a.
The maximum width and depth of a structure is 250 feet, except as otherwise provided in this subsection 23.47A.009.G.1. The width and depth limits do not apply to below-grade or partially below-grade stories with street-facing facades that do not extend more than 4 feet above the sidewalk, measured at any point above the sidewalk elevation to the floor above the partially below-grade story, excluding access.
b.
For the stories of a structure subject to width and depth limits, all portions of the same story that are horizontally contiguous, including any portions connected by doorways, ramps, bridges, stairways, and other such features, shall be included in the measurement of width and depth. The width and depth limit of stories in separate structures or structures on the same lot that abut but are not internally connected shall be measured separately. Designated Landmark structures and vulnerable masonry structures included on a list promulgated by the Director that are retained on the lot are excluded from the width and depth measurement, whether or not internally or externally connected to a new structure.
c.
Width and depth limits do not apply to stories of a structure with more than 50 percent of the total gross floor area occupied by any of the following uses:
1)
Community clubs or community centers;
2)
Religious facilities;
3)
Arts facilities;
4)
Child care centers or elementary or secondary schools; or
5)
Performing arts theaters.
2.
Provisions for the transfer of development rights (TDR) and transfer of development potential (TDP)
a.
Lots located in NC3 and NC3P zones with height limits of 55 feet or greater are eligible as open space, vulnerable masonry structure, or Landmark TDR and TDP sending sites if the lot meets the definition of the applicable TDR or TDP sending site in Chapter 23.84A and meets all applicable standards in Section 23.58A.042.
b.
The maximum amount of TDR and TDP that can be transferred from an eligible sending site shall not exceed an amount of floor area equivalent to the numerical value of the FAR permitted on a lot that is solely occupied by residential uses or non-residential uses in the zone where the sending site is located, as shown on Table A for 23.47A.013, multiplied by the lot area of the sending site and minus the sum of any chargeable floor area on the lot plus any TDR and TDP previously transferred.
c.
Eligible receiving sites are limited to those lots in SM-U zones specified in subsection 23.48.623.C.
H.
23rd and Union. The following provisions apply to development proposed in NC zones within the area shown on Map F for 23.47A.009.
Map F for 23.47A.009
Standards applicable to specific areas: 23rd & Union
1.
Setback requirements. Setbacks are required along East Spring Street, East Pike Street, 22nd Avenue, and 24th Avenue as shown on Map E for 23.47A.009 as follows:
a.
A minimum street-level setback of 5 feet along the length of the street property line unless a larger setback is required by subsection 23.47A.008.D.2; and
b.
A minimum upper-level setback of 15 feet for all portions of a structure greater than 35 feet in height as measured from the average finished grade along the sidewalk; and
c.
Structures permitted in required setbacks are subject to subsection 23.47A.014.G.
2.
Street-level residential uses. Street-level residential uses are required along East Spring Street, East Pike Street, 22nd Avenue, and 24th Avenue as shown on Map E for 23.47A.009 except for the portions of East Pike Street and East Spring Street measured within 80 feet of the property line abutting 23rd Avenue and portion of 24 th Avenue measured within 120 feet of the property line abutting East Union Street.
I.
23rd and Jackson. The following provisions apply to development proposed in NC zones within the area shown on Map G for 23.47A.009.
Map G for 23.47A.009
Standards applicable to specific areas: 23rd & Jackson
1.
Setback requirements
a.
Along South Jackson Street facing property lines as shown on Map F for 23.47A.009, a minimum upper-level setback of 10 feet is required for all portions of a structure greater than 45 feet in height as measured from the average finished grade.
b.
Structures permitted in required setbacks are subject to subsection 23.47A.014.G.
2.
Maximum structure width. On streets designated by Map F for 23.47A.009, the maximum allowed structure width is 250 feet. Facade modulation or building separation can be considered as a break in the maximum structure width if:
a.
A portion of the street-facing facade projects or is recessed from abutting facade by a minimum depth of 15 feet and a minimum width of 15 feet; or
b.
A building separation is provided with a minimum width of 15 feet between structures.
3.
Pedestrian connection requirement. A proposal that includes development between South Main Street and South King Street and is located within 400 feet east of 23rd Avenue South shall provide a north-south pedestrian connection in area as shown on Map F for 23.47A.009, subject to the following requirements:
a.
If the pedestrian connection is located adjacent to the right-of-way, it should be incorporated into existing or planned sidewalks.
b.
The pedestrian connection shall have a minimum width of 15 feet, and include at least one of the following:
1)
Entries to retail stores or other buildings;
2)
Seating areas for pedestrians;
3)
Street furniture;
4)
Bicycle parking;
5)
Landscaping;
6)
Pedestrian scale lighting;
7)
Water features; or
8)
Overhead weather protection.
c.
The pedestrian connection shall include a minimum 6-foot paved walkway width and shall be designed to connect to existing or planned sidewalks and crosswalks.
d.
The connection may be located between structures, or may be located in a parking area if the paved walkway is separated from the parking area with special pavements or other treatments to protect pedestrians from vehicles.
J.
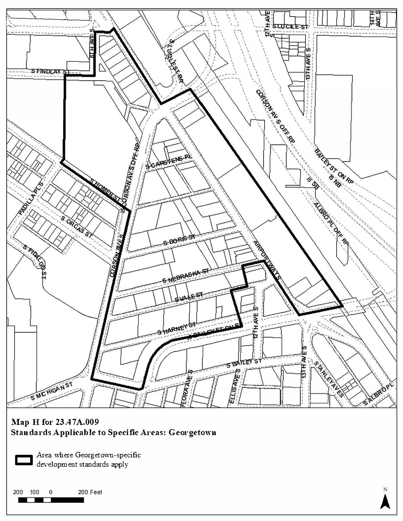
Georgetown. The following provisions apply to development proposed in NC zones within the area shown on Map H for 23.47A.009.
1.
Additional floor area for arts space, community club, or center. An additional increment of up to 1.0 FAR is permitted above the maximum FAR limit of the zone if a lot includes an arts facility operated by a for-profit or not-for-profit operator, or a community club or center, subject to the following conditions:
a.
The amount of the additional increment of FAR shall not exceed floor area of the arts facility.
b.
The minimum floor area provided for a qualifying arts facility, community club, or center is 2,000 square feet.
c.
The space shall be occupied by an arts facility, community club, or center for the life of the building on the lot. If the property owner is unable to secure a for-profit or not-for-profit organization to operate the arts facility, community club, or center, after a six-month period, if the space remains unoccupied, it may be used for other non-profit purposes such as a community and/or public area, under the following conditions:
1)
The space shall be made available to community and charitable organizations and is not to be used for profit-making activities;
2)
The space shall be made available for both day and evening use;
3)
The space shall be made available on a first-come, first-served basis to community and charitable organizations; and
4)
Availability of the space and contact person(s) shall be made known to community and charitable groups through means such as newspaper articles, radio announcements, and flyers.
d.
No permit after the first building permit, no permit for any construction activity other than excavation and shoring, and no permit for occupancy of existing floor area by any use shall be issued for development that includes an arts facility to gain the increase in FAR until the applicant has demonstrated to the satisfaction of the Director that a lease with a for-profit or not-for-profit arts organization has been secured to occupy the space for a minimum of one year.
2.
Additional floor area for historic preservation. An additional increment of up to 1.0 FAR is permitted above the maximum FAR limit if a lot includes one or more structures that have been designated as landmarks pursuant to Chapter 25.12, subject to the following conditions:
a.
The structure is rehabilitated so that all features and characteristics are subject to controls and incentives designated pursuant to Chapter 25.12 and comply with any certificates of approval issued by the Landmarks Preservation Board, all as determined by the Director of the Department of Neighborhoods;
b.
A notice is recorded in the King County real estate records, in a form satisfactory to the Director, regarding the additional increment of floor area allowed and the effect thereof under the terms of this Chapter 23.47A;
c.
If the increased amount of FAR allowed under this subsection 23.47A.009.J remains on the lot, the structure must remain designated as a Landmark; and
d.
The owner shall maintain the exterior and interior of the Landmark structure in good condition in a manner that preserves the Landmark features and characteristics of the structure.
3.
Additional height for arts space or historic preservation. The height limit is increased by 10 feet for any development that gains additional floor area for arts space pursuant to subsection 23.47A.009.J.1 or additional floor area for historic preservation pursuant to subsection 23.47A.009.J.2.
4.
All dwelling units shall have sound-insulating windows sufficient to maintain interior sound levels at 60 decibels or below in consideration of existing environmental noise levels at the site. The applicant shall submit an analysis of existing noise levels and documentation of the sound insulating capabilities of windows shall be indicated on the plan.
5.
All dwelling units shall have a permanently installed air cooling system and a balanced ventilation system, which may be combined. The ventilation system shall filter any outdoor air supply through filters rated MERV 13 or higher as determined by the American Society of Heating, Refrigerating, and Air Conditioning Engineers (ASHRAE). The air cooling and ventilation systems shall be indicated on the plan.
Map H for 23.47A.009
Standards Applicable to Specific Areas: Georgetown
K.
Judkins Park. The following provisions apply to development proposed in NC zones within the area shown on Map I for 23.47A.009.
1.
All dwelling units shall have sound-insulating windows sufficient to maintain interior sound levels at 60 decibels or below in consideration of existing environmental noise levels at the site. The applicant shall submit an analysis of existing noise levels and documentation of the sound insulating capabilities of windows shall be indicated on the plan.
2.
All dwelling units shall have a permanently installed air cooling system and a balanced ventilation system, which may be combined. The ventilation system shall filter any outdoor air supply through filters rated MERV 13 or higher as determined by the American Society of Heating, Refrigerating, and Air Conditioning Engineers (ASHRAE). The air cooling and ventilation systems shall be indicated on the plan.
Map I for 23.47A.009
Standards Applicable to Specific Areas: Judkins Park
L.
South Park. The following provisions apply to development proposed in NC zones within the areas shown on Map J for 23.47A.009.
1.
All dwelling units shall have sound-insulating windows sufficient to maintain interior sound levels at 60 decibels or below in consideration of existing environmental noise levels at the site. The applicant shall submit an analysis of existing noise levels and documentation of the sound insulating capabilities of windows shall be indicated on the plan.
2.
All dwelling units shall have a permanently installed air cooling system and a balanced ventilation system, which may be combined. The ventilation system shall filter any outdoor air supply through filters rated MERV 13 or higher as determined by the American Society of Heating, Refrigerating, and Air Conditioning Engineers (ASHRAE). The air cooling and ventilation systems shall be indicated on the plan.
Map J for 23.47A.009
Standards Applicable to Specific Areas: South Park
M.
Interbay. The following provisions apply to development proposed in C zones within the areas shown on Map K for 23.47A.009.
1.
All dwelling units shall have sound-insulating windows sufficient to maintain interior sound levels at 60 decibels or below in consideration of existing environmental noise levels at the site. The applicant shall submit an analysis of existing noise levels and documentation of the sound insulating capabilities of windows shall be indicated on the plan.
2.
All dwelling units shall have a permanently installed air cooling system and a balanced ventilation system, which may be combined. The ventilation system shall filter any outdoor air supply through filters rated MERV 13 or higher as determined by the American Society of Heating, Refrigerating, and Air Conditioning Engineers (ASHRAE). The air cooling and ventilation systems shall be indicated on the plan.
Map K for 23.47A.009
Standards Applicable to Specific Areas: Interbay
(Ord. 126862, § 7, 2023; Ord. 125791, § 51, 2019; Ord. 125603, § 27, 2018; Ord. 125361, § 2, 2017; Ord. 125360, § 2, 2017; Ord. 125272, § 27, 2017; Ord. 125267, § 12, 2017; Ord. 125125, § 2, 2016; Ord. 125103, § 3, 2016; Ord. 125081, § 3, 2016; Ord. 124952, § 14, 2015; Ord. 124919, § 136, 2015; Ord. 124378, § 41, 2013; Ord. 123816, § 4, 2012; Ord. 123790, § 2, 2011.)
A.
Except as provided in subsection D of this section, size limits, where specified in Table A of Section 23.47A.004, apply to the total size of a business establishment, except that if a business establishment includes more than one principal use, size limits apply separately to the size of each principal use within the business establishment as determined under this section.
B.
For the purposes of this Section 23.47A.010, size of use includes the gross floor area of a structure(s), or portion of a structure(s), occupied by a principal use and all uses accessory to that use, except that:
1.
In NC1 and NC2 zones, any area dedicated to outdoor display of goods or equipment for rent or for sale is also included;
2.
In all zones, any gross floor area used for accessory parking is exempted from the size calculation; and
3.
In all zones, any gross floor area used for stockrooms, storage, break rooms, loading, and administrative office accessory to a principal grocery store use is exempted from the size calculation, provided it does not exceed 8,500 square feet or 30 percent of the gross floor area, whichever is less.
C.
If a business establishment is located in more than one zone:
1.
If the business establishment includes only one principal use, then:
a.
the size of the portion of the business establishment that is located within each zone may not exceed the size limit for that principal use for that zone; and
b.
the total size of the business establishment may not exceed the largest limit for that principal use that applies in any of the zones where any part of the business establishment is located.
2.
If the business establishment includes more than one principal use, size limits apply to each principal use within the business establishment separately, as follows:
a.
the size of the portions of each principal use and its accessory uses that are in one zone may not exceed the size limit for that principal use for that zone; and
b.
the total size of each principal use and its accessory uses may not exceed the largest limit for that principal use that applies in any of the zones where any part of that use is located.
D.
In C1 and C2 zones, office uses are limited one (1) FAR, or thirty-five thousand (35,000) square feet, whichever is greater. For purposes of this subsection, size limits apply to the total amount of all office uses on a lot. Office uses are exempt from this limit if the following NC3 zone standards are met:
1.
Blank facades and setbacks, per Section 23.47A.008 A;
2.
Transparency, per Section 23.47A.008 B2;
3.
Outdoor storage areas, per Section 23.47A.011 D;
4.
Screening of blank facades and gas stations, per Section 23.47A.016 C and D2;
5.
Drive-in lanes, per Section 23.47A.028;
6.
Access to parking, per Section 23.47A.032 A; and
7.
Location of parking, per Section 23.47A.032 B.
E.
Expansion or replacement of Grocery Stores in NC1 Zones. Grocery stores in NC1 zones are limited to 10,000 square feet. As a special exception, existing grocery stores may be expanded or replaced on-site or on abutting lots up to a maximum size of twenty-three thousand (23,000) sq. ft. when all of the following conditions are met:
1.
The grocery store to be expanded or replaced is legally established as of, and has continued in operation since, August 1, 2005;
2.
The store is located in a zone of contiguous NC1 zoned land that is at least three (3) acres in size and the zone is at least 1,500 feet away from any NC2, NC3, C1 or C2 zone;
3.
The lot abuts an arterial street and the expansion or replacement of the store is not likely to result in significant increases in traffic on non-arterial streets;
4.
The expanded or replaced store will be part of a development with at least 30% (thirty percent) of the gross floor area of the structure, not including parking, in residential use; and
5.
Impacts to adjacent residential areas from loading activities are mitigated using screening, buffers, or other techniques; and
6.
The Director finds that the expansion or replacement is compatible with the character and scale of the area in which it is located.
(Ord. 127099, § 23, 2024; Ord. 123046, § 65, 2009; Ord. 122311, § 44, 2006.)
A.
Except as otherwise provided in this Section 23.47A.011, outdoor activities that are part of permitted commercial uses or permitted agricultural uses are permitted in NC zones or C zones, subject to any applicable standards.
B.
Outdoor sales area is limited as follows, except for agricultural uses:
C.
Outdoor display areas for rental equipment are limited as follows:
D.
Outdoor storage areas are limited as follows:
E.
The following outdoor activities on a lot zoned entirely or split-zoned commercial shall be located at least 50 feet from a lot zoned entirely residential, unless the elevation of the lot with the activity is at least 15 feet above the grade of the lot in the residential zone at the common lot line:
1.
Outdoor sales and/or service of food or beverages, except products of an agricultural use on the lot;
2.
Outdoor storage;
3.
Outdoor sports and recreation;
4.
Outdoor loading berths.
F.
Outdoor activities shall be screened and landscaped according to the provisions of Section 23.47A.016.
(Ord. 127099, § 24, 2024; Ord. 123378, § 17, 2010; Ord. 122311, § 44, 2006.)
A.
The height limit for structures in NC zones or C zones is as designated on the Official Land Use Map, Chapter 23.32. Structures may not exceed the applicable height limit, except as otherwise provided in this Section 23.47A.012.
1.
In zones with a 30-foot or 40-foot mapped height limit:
a.
The height of a structure may exceed the otherwise applicable limit by up to 4 feet, subject to subsection 23.47A.012.A.1.c, provided the following conditions are met:
1)
Either:
a)
A floor-to-floor height of 13 feet or more is provided for non-residential uses at street level; or
b)
A residential use is located on a street-level, street-facing facade, provided that the average height of the exterior facades of any portion of a story that is partially below-grade does not exceed 4 feet, measured from existing or finished grade, whichever is less, and the first floor of the structure at or above grade is at least 4 feet above sidewalk grade; and
2)
The additional height allowed for the structure will not allow an additional story beyond the number that could be built under the otherwise applicable height limit.
b.
The height of a structure may exceed the otherwise applicable limit by up to 7 feet, subject to subsection 23.47A.012.A.1.c, provided all of the following conditions are met:
1)
Residential and multi-purpose retail sales uses are located in the same structure;
2)
The total gross floor area of at least one multi-purpose retail sales use exceeds 12,000 square feet;
3)
A floor-to-floor height of 16 feet or more is provided for the multi-purpose retail sales use at street level;
4)
The additional height allowed for the structure will not allow an additional story beyond the number that could be built under the otherwise applicable height limit if a floor-to-floor height of 16 feet were not provided at street level; and
5)
The structure is not allowed additional height under subsection 23.47A.012.A.1.a.
c.
The Director shall reduce or deny the additional structure height allowed by this subsection 23.47A.012.A.1 if the additional height would significantly block views from neighboring residential structures of any of the following: Mount Rainier, the Olympic and Cascade Mountains, the downtown skyline, Green Lake, Puget Sound, Lake Washington, Lake Union, or the Ship Canal.
2.
Within the Station Area Overlay District within the University Community Urban Center, maximum structure height may be increased to 125 feet when all of the following are met:
a.
The lot is within two blocks of a planned or existing light rail station;
b.
The proposed use of the lot is functionally related to other office development, permitted prior to 1971, to have over 500,000 square feet of gross floor area to be occupied by a single entity;
c.
A transportation management plan for the life of the use includes incentives for light rail and other transit use by the employees of the office use;
d.
The development shall provide street-level amenities for pedestrians and shall be designed to promote pedestrian interest, safety, and comfort through features such as landscaping, lighting, and transparent facades, as determined by the Director; and
e.
This subsection 23.47A.012.A.2 can be used only once for each development that is functionally related.
3.
On a lot containing a peat settlement-prone environmentally critical area, the height of a structure may exceed the otherwise applicable height limit and the other height allowances provided by this Section 23.47A.012 by up to 3 feet. In addition, 3 more feet of height may be allowed for any wall of a structure on a sloped lot, provided that on the uphill sides of the structure, the maximum elevation of the structure height shall be no greater than the height allowed by the first sentence of this subsection 23.47A.012.A.3. The Director may apply the allowances in this subsection 23.47A.012.A.3 only if the following conditions are met:
a.
The Director finds that locating a story of parking underground is infeasible due to physical site conditions such as a high water table;
b.
The Director finds that the additional height allowed for the structure is necessary to accommodate parking located partially below grade that extends no more than 6 feet above existing or finished grade, whichever is lower, and no more than 3 feet above the highest existing or finished grade along the structure footprint, whichever is lower, as measured to the finished floor level above; and
c.
Other than the additional story of parking allowed according to this subsection 23.47A.012.A.3, the additional height shall not allow an additional story beyond the number of stories that could be built under the otherwise applicable height limit.
4.
In zones that are located within the Pike/Pine Conservation Overlay District with a mapped height limit of 75 feet, the provisions of Section 23.73.014 apply.
5.
In Commercial zones bounded by S. Dawson St. to the north, 5th Ave. S. to the east, S. Fidalgo St. to the south, and 3rd Ave. S. to the west, the height of a structure may exceed the otherwise applicable limit by up to 10 feet, provided all of the following conditions are met:
a.
The applicant makes a commitment that the proposed development will meet the green building standard and shall demonstrate compliance with that commitment in accordance with Chapter 23.58D;
b.
The development includes at least five stories solely occupied by residential uses;
c.
At least 20 percent of the street frontage at street-level of the development shall be street-level uses from the list in subsection 23.47A.005.D.1;
d.
A floor-to-floor height of 20 feet or more is provided for the non-residential uses at street level provided to comply with the provisions of subsection 23.47A.012.A.5.c; and
e.
All dwelling units in the development have sound-insulating windows and air cooling and ventilation systems meeting the requirement of subsection 23.47A.009.J.4 and 23.47A.009.J.5.
B.
The ridge of a pitched roof, other than a shed roof or butterfly roof, may extend up to 5 feet above the otherwise applicable height limit in zones with height limits of 30 or 40 feet, if all parts of the roof above the otherwise applicable height limit are pitched at a rate of not less than 4:12 (Exhibit A for 23.47A.012).
Exhibit A for 23.47A.012
Pitched roof height exception
C.
Rooftop features
1.
Smokestacks, chimneys, flagpoles, and religious symbols for religious institutions are exempt from height controls, except as regulated in Chapter 23.64, provided they are a minimum of 10 feet from any side or rear lot line.
2.
Open railings, planters, skylights, clerestories, greenhouses, solariums, parapets, and firewalls may extend as high as the highest ridge of a pitched roof permitted by subsection 23.47A.012.B or up to 4 feet above the otherwise applicable height limit, whichever is higher. Insulation material or soil for landscaping located above the structural roof surface may exceed the maximum height limit by up to 2 feet if enclosed by parapets or walls that comply with this subsection 23.47A.012.C.2. Rooftop decks and other similar features may exceed the maximum height limit by up to two feet, and open railings or parapets required by the Building Code around the perimeter of rooftop decks or other similar features may exceed the maximum height limit by the minimum necessary to meet Building Code requirements.
3.
Solar collectors
a.
In zones with mapped height limits of 30 to 55 feet, solar collectors may extend up to 4 feet above the otherwise applicable height limit, with unlimited rooftop coverage.
b.
In zones with height limits of greater than 40 feet, solar collectors may extend up to 7 feet above the otherwise applicable height limit, with unlimited rooftop coverage.
4.
Except as provided below, the following rooftop features may extend up to 15 feet above the applicable height limit if the combined total coverage of all features gaining additional height listed in this subsection 23.47A.012.C.4 does not exceed 30 percent of the roof area, or the combined total coverage does not exceed 35 percent of the roof area if the total includes stair or elevator penthouses or screened or enclosed mechanical equipment, or does not exceed 60 percent coverage of the roof area if the total includes a greenhouse:
a.
Solar collectors that exceed heights allowed by subsection 23.47A.012.C.3;
b.
Mechanical equipment;
c.
Play equipment and open-mesh fencing that encloses it, as long as the fencing is at least 10 feet from the roof edge;
d.
Chimneys;
e.
Sun and wind screens, and similar weather protection features such as eaves or canopies extending from rooftop features;
f.
Covered or enclosed common recreation areas;
g.
Greenhouses and solariums;
h.
Wind-driven power generators;
i.
Minor communication utilities and accessory communication devices, except that height is regulated according to the provisions of Section 23.57.012; and
j.
Stair and elevator penthouses, which may extend above the applicable height limit by up to 16 feet.
5.
At the applicant's option, for buildings exceeding 120 feet, the combined total rooftop coverage limit of all features listed in subsections 23.47A.012.C.4 is 75 percent, provided that all of the following are satisfied:
a.
All mechanical equipment is screened or enclosed; and
b.
No rooftop features are located closer than 10 feet to the roof edge, except features that do not exceed the height of the parapet or 5 feet above the roof surface, whichever is greater, or which may be permitted by design review departure or other code provisions including but not limited to Chapter 23.57.
6.
The rooftop features listed in this subsection 23.47A.012.C.6 shall be located at least 10 feet from the north lot line unless a shadow diagram is provided that demonstrates that locating such features within 10 feet of the north lot line would not shade property to the north on January 21 at noon more than would a structure built to maximum permitted height and FAR:
a.
Solar collectors;
b.
Planters;
c.
Clerestories;
d.
Greenhouses and solariums;
e.
Minor communication utilities and accessory communication devices, permitted pursuant to the provisions of Section 23.57.012;
f.
Sun and wind screens, and similar weather protection features such as eaves or canopies extending from rooftop features;
g.
Covered or enclosed common recreation areas;
h.
Non-firewall parapets; and
i.
Play equipment.
7.
Structures existing prior to May 10, 1986, may add new or replace existing mechanical equipment up to 15 feet above the roof elevation of the structure and shall comply with the noise standards of Section 23.47A.018.
8.
For height limits and exceptions for communication utilities and accessory communication devices, see Section 23.57.012.
D.
Solar retrofits. The Director may permit the retrofitting of solar collectors on conforming or nonconforming structures existing on June 9, 1986, as a special exception pursuant to Chapter 23.76, Procedures for Master Use Permits and Council Land Use Decisions. Such a retrofit may be permitted to exceed established height limits, if the following conditions are met:
1.
There is no feasible alternative solution to placing the collector(s) on the roof;
2.
The positioning of such collector(s) minimizes view blockage and shading of property to the north, while still providing adequate solar access for the collectors; and
3.
Such collector(s) meet minimum energy standards administered by the Director.
E.
Height exceptions for public schools
1.
For new public school construction on new public school sites, the maximum permitted height shall be the maximum height permitted in the zone.
2.
For new public school construction on existing public school sites, the maximum permitted height shall be the maximum height permitted in the zone or 35 feet plus 15 feet for a pitched roof complying with subsection 23.47A.012.E.5, whichever is greater.
3.
For additions to existing public schools on existing public school sites, the maximum height permitted shall be the maximum height permitted in the zone, the height of the existing school, or 35 feet plus 15 feet for a pitched roof complying with subsection 23.47A.012.E.5, whichever is greater.
4.
Development standard departure for structure height may be granted pursuant to the procedures and criteria set forth in Chapter 23.79. For construction of new structures on new and existing public school sites to the extent not otherwise permitted outright, maximum height that may be granted as a development standard departure in zones with height limits of 30 or 40 feet shall be 35 feet plus 15 feet for a pitched roof complying with subsection 23.47A.012.E.5 for elementary schools and 60 feet plus 15 feet for a pitched roof complying with subsection 23.47A.012.E.5 for secondary schools. All height maximums may be waived by the Director when waiver would contribute to the demolition of fewer residential structures.
5.
To qualify for additional height for a pitched roof under this subsection 23.47A.012.E, all parts of the roof above the height otherwise allowed must be pitched at a rate of not less than 3:12 and the roof must not be a shed roof or butterfly roof.
F.
Additional height in NC3-200 and NC3P-200 zoned areas in the First Hill/Capitol Hill Urban Center32
In the NC3-200 and NC3P-200 zones in the First Hill/Capitol Hill Urban Center, additional height above the otherwise applicable height limit of 200 feet may be permitted to accommodate floor area achieved through the provisions of subsection 23.47A.013.F and Section 23.58A.042 if the development meets the following requirements:
1.
The development does not exceed 350 feet in height, except that rooftop features may exceed 350 feet in height if they comply with subsection 23.47A.012.C.
2.
Only extra floor area achieved through subsection 23.47A.013.F may be located above 200 feet.
(Ord. 127025, § 1, 2024; Ord. 126685, § 26, 2022; Ord. 126600, § 5, 2022; Ord. 126548, § 1, 2022; Ord. 126157, § 24, 2020; Ord. 125791, § 52, 2019; Ord. 125272, § 28, 2017; Ord. 125267, § 13, 2017; Ord. 125173, § 4, 2016; Ord. 124883, § 11, 2015; Ord. 124843, § 30, 2015; Ord. 123776, § 4, 2011; Ord. 123649, § 20, 2011; Ord. 123564, § 7, 2011; Ord. 123378, § 18, 2010; Ord. 123020, § 10, 2009; Ord. 122935, § 6, 2009; Ord. 122738, § 2, 2008; Ord. 122311, § 44, 2006.)
A.
Floor area ratio (FAR) limits. Except as provided in subsections 23.47A.013.C and 23.47A.013.D, FAR limits apply in C zones and NC zones as shown in Table A for 23.47A.013 and Table B for 23.47A.013. The applicable FAR limit applies to the total chargeable floor area of all structures on the lot.
B.
The following gross floor area is not counted toward FAR:
1.
All stories, or portions of stories, that are underground;
2.
All portions of a story that extend no more than 4 feet above existing or finished grade, whichever is lower, excluding access;
3.
Gross floor area of a transit station, including all floor area open to the general public during normal hours of station operation but excluding retail or service establishments to which public access is limited to customers or clients, even where such establishments are primarily intended to serve transit riders;
4.
On a lot containing a peat settlement-prone environmentally critical area, above-grade parking within or covered by a structure or portion of a structure, if the Director finds that locating a story of parking below grade is infeasible due to physical site conditions such as a high water table, if either:
a.
The above-grade parking extends no more than 6 feet above existing or finished grade and no more than 3 feet above the highest existing or finished grade along the structure footprint, whichever is lower, as measured to the finished floor level or roof above, pursuant to subsection 23.47A.012.A.3; or
b.
All of the following conditions are met:
1)
No above-grade parking is exempted by subsection 23.47A.013.B.4.a;
2)
The parking is accessory to a residential use on the lot;
3)
Total parking on the lot does not exceed one space for each residential dwelling unit plus the number of spaces required for non-residential uses; and
4)
The amount of gross floor area exempted by this subsection 23.47A.013.B.4.b does not exceed 25 percent of the area of the lot in zones with a height limit less than 65 feet, or 50 percent of the area of the lot in zones with a height limit 65 feet or greater; and
5.
Rooftop greenhouse areas meeting the standards of subsections 23.47A.012.C.4, 23.47A.012.C.5, and 23.47A.012.C.6;
6.
Bicycle commuter shower facilities required by subsection 23.54.015.K.8;
7.
The floor area of required bicycle parking for small efficiency dwelling units or congregate residence sleeping rooms, if the bicycle parking is located within the structure containing the small efficiency dwelling units or congregate residence sleeping rooms. Floor area of bicycle parking that is provided beyond the required bicycle parking is not exempt from FAR limits;
8.
All gross floor area in child care centers; and
9.
In low-income housing, all gross floor area for accessory human service uses.
C.
Within the Station Area Overlay District within the University Community Urban Center, for office structures permitted prior to 1971, the area of the lot for purposes of calculating permitted FAR is the tax parcel created prior to the adoption of Ordinance 121846 on which the existing structure is located, provided the office structure is to be part of a functionally related development occupied by a single entity with over 500,000 square feet of area in office use. The floor area of above grade pedestrian access is exempt from the FAR calculations of this subsection 23.47A.013.C, and the maximum permitted FAR is 8.
D.
Within the portion of the Greenwood Residential Urban Village, on lots zoned NC2 55 that are located abutting NW 85th Street between 1st Avenue NW and 3rd Avenue NW, the total permitted FAR within a mixed-use structure containing residential and non-residential uses is 4.
E.
Minimum FAR
1.
A minimum FAR shown in Table C for 23.47A.013 is required whenever more than 1,000 square feet of gross floor area is added to or removed from a lot located in:
a.
A pedestrian-designated zone in an urban center, urban village, or Station Area Overlay District; or
b.
The Northgate Overlay District and abutting a Major Pedestrian Street as shown on Map A for 23.71.004.
2.
The minimum FAR requirement provided in subsection 23.47A.013.E.1 does not apply if:
a.
Additional floor area is added to an existing structure on a lot that is nonconforming with respect to the minimum FAR shown in Table C for 23.47A.013;
b.
The lot is larger than five acres;
c.
All existing gross floor area is demolished to create a vacant lot;
d.
Parks and open space is the principal use of the lot; or
e.
The lot is to be occupied by a nonprofit medical service use that provides a specialized service, such as kidney dialysis, that is not currently provided in the applicable urban village.
3.
Portions of the lot designated as a steep slope, wetland, or riparian corridor or as a buffer to one of these areas, as defined in Chapter 25.09, shall not be included when calculating lot size for the purpose of determining the minimum FAR requirement provided in subsection 23.47A.013.E.1.
4.
The Director, in consultation with the Director of the Department of Neighborhoods, may waive the minimum FAR requirement provided in subsection 23.47A.013.E.1 for lots that contain a designated Landmark, or for lots within a Landmark District pursuant to Title 25 or within a Special Review District pursuant to Chapter 23.66, if the Director determines a waiver is necessary to preserve the integrity of a Landmark or meet adopted District design and development guidelines.
5.
The Director may waive the minimum FAR requirement provided in subsection 23.47A.013.E.1 for lots within the Pike/Pine Conservation Overlay District pursuant to Chapter 23.32, if the Director determines that the proposed development promotes neighborhood conservation objectives.
6.
The following gross floor area is not counted toward the minimum FAR requirement provided in subsection 23.47A.013.E.1:
a.
All stories, or portions of stories, that are underground; and
b.
Gross floor area containing parking.
F.
Extra floor area in NC3-200 and NC3P-200 zoned areas in the First Hill/Capitol Hill Urban Center
In the NC3-200 and NC3P-200 zones in the First Hill/Capitol Hill Urban Center, extra floor area above the otherwise applicable FAR limit of 8.25 for nonresidential structures or 12 for structures with at least 4 FAR in residential use may be achieved pursuant to the provisions of this subsection 23.47A.013.F and Section 23.58A.042 if the development meets the following conditions:
1.
Extra floor area must be gained through the transfer of TDP/TDR pursuant to the provisions of Section 23.58A.042. For purposes of calculating the amount of TDP/TDR that may be transferred, the otherwise applicable FAR limits in subsection 23.47.013.A shall be the base FAR.
2.
The sending site must be located in a NC3-200 or NC3P-200 zoned area in the First Hill/Capitol Hill Urban Center and the lot receiving the transfer of floor area must be on the same block as the sending site.
3.
The amount of extra floor gained from this subsection 23.47A.013.F by any one development may not exceed 110,526 square feet.
4.
For purposes of this subsection 23.47A.013.F, the transfer of development rights to gain extra non-residential floor area is TDR and the transfer of development potential to gain extra residential floor area is TDP.
5.
The only types of TDP and TDR that may be transferred pursuant to this subsection 23.47A.013.F are Landmark TDP and TDR.
(Ord. 126855, § 18, 2023; Ord. 126600, § 6, 2022; Ord. 126548, § 2, 2022; Ord. 126287, § 6, 2021; Ord. 126157, § 25, 2020; Ord. 126131, § 7, 2020; Ord. 125791, § 53, 2019; Ord. 125603, § 28, 2018; Ord. 125558, § 16, 2018; Ord. 125267, § 14, 2017; Ord. 125173, § 5, 2016; Ord. 124843, § 31, 2015; Ord. 124770, § 6, 2015; Ord. 124566, § 1, 2014; Ord. 124378, § 42, 2013; Ord. 124270, § 2, 2013; Ord. 124150, § 2, 2013; Ord. 123790, § 3, 2011; Ord. 123770, § 7, 2011; Ord. 123564, § 8, 2011; Ord. 123046, § 65, 2009; Ord. 122935, § 7, 2009; Ord. 122738, § 3, 2008; Ord. 122311, § 44, 2006.)
A.
Rooftop features are not allowed in setbacks, except that for upper-level setbacks:
1.
Open railings may extend up to 4 feet above the height at which the setback begins.
2.
Parapets may extend up to 2 feet above the height at which the setback begins.
B.
Setback requirements for lots abutting or across the alley from residential zones
1.
A setback is required where a lot abuts the intersection of a side lot line and front lot line of a lot in a residential zone or a lot that is zoned both commercial and residential if the commercial zoned portion of the abutting lot is less than 50 percent of the width or depth of the lot. The required setback forms a triangular area. Two sides of the triangle extend along the street lot line and side lot line 15 feet from the intersection of the residentially zoned lot's front lot line and the side lot line abutting the residentially zoned lot. The third side connects these two sides with a diagonal line across the commercially zoned lot (Exhibit A for 23.47A.014).
Exhibit A for 23.47A.014
Setback abutting a side lot line of a residentially zoned lot
2.
An upper-level setback is required along the portion of any rear or side lot line that abuts a lot or portion of a lot in an LR, MR, or HR zone or that abuts a portion of a lot that is zoned commercial. If the abutting lot is zoned both commercial and LR, MR, or HR and the commercial zoned portion of the abutting lot is less than 50 percent of the width or depth of the lot, the upper-level setback is measured perpendicular to the abutting lot line, as follows:
a.
Ten feet for portions of structures above 13 feet in height to a maximum of 65 feet; and
b.
For each portion of a structure above 65 feet in height, additional setback at the rate of 1 foot of setback for every 10 feet by which the height of such portion exceeds 65 feet, up to a maximum setback of 20 feet (Exhibit B for 23.47A.014).
Exhibit B for 23.47A.014
Setback abutting a side or rear lot line of a lot zoned LR, MR, or HR
3.
An upper-level setback is required along any rear or side lot line that abuts a lot in a neighborhood residential zone, that is across an alley from a lot in a neighborhood residential zone, or that abuts a lot that is zoned both commercial and neighborhood residential if the commercial zoned portion of the abutting lot is less than 50 percent of the width or depth of the lot as follows:
a.
Fifteen feet for portions of structures above 13 feet in height to a maximum of 40 feet; and
b.
For each portion of a structure above 40 feet in height, additional setback at the rate of 3 feet of setback for every 10 feet by which the height of such portion exceeds 40 feet (Exhibit C for 23.47A.014).
Exhibit C for 23.47A.014
Setback abutting or across an alley from a lot zoned single-family
4.
One-half of the width of an abutting alley may be counted as part of the required setback. For the purpose of this Section 23.47A.014, the alley width and the location of the rear lot line shall be determined prior to any dedication that may be required for alley improvement purposes.
5.
No entrance, window, or other opening is permitted closer than 5 feet to an abutting residentially-zoned lot.
C.
Upper-level setbacks for street-facing facades. For zones with a height limit of 75 feet, 85 feet, or 95 feet, the street-facing facade shall be set back as follows:
1.
For zones with a height limit of 75 feet, portions of structures above 65 feet must be set back from the front lot line by an average depth of 8 feet.
2.
For zones with a height limit of 85 feet or 95 feet, portions of structures above 75 feet must be set back from the front lot line by an average depth of 8 feet.
3.
Where a portion of the facade is set back more than 15 feet, the setback depth for that portion of the facade shall be considered 15 feet for purposes of calculating the average setback. No more than 20 percent of the portion of the structure that must be set back may have a setback of less than 5 feet.
D.
Facade modulation. For structures with a width of more than 250 feet, at least one portion of the structure 30 feet or greater in width must be set back a minimum of 15 feet from the front property line. For structures with a width of more than 500 feet, at least two portions of the structure 30 feet or greater in width and separated by at least 100 feet must be set back a minimum of 15 feet from the front property line.
E.
A minimum 5-foot landscaped setback may be required under certain conditions and for certain uses according to Section 23.47A.016, Screening and landscaping standards.
F.
Mobile home parks. A minimum 5-foot setback is required along all street lot lines of a mobile home park. The setback must be landscaped according to the provisions of subsection 23.47A.016.D.2.
G.
Structures and projections in required setbacks
1.
Decks and balconies
a.
Decks with open railings may extend into the required setback, but are not permitted within 5 feet of a lot in a residential zone, except as provided in subsection 23.47A.014.G.1.b.
b.
Decks that are accessory to residential uses and are no more than 18 inches above existing or finished grade, whichever is lower, are permitted within 5 feet of a lot in a residential zone.
2.
Eaves, cornices, and gutters projecting no more than 18 inches from the structure facade are permitted in required setbacks.
3.
Ramps or other devices necessary for access for the disabled and elderly, which meet Seattle Building Code, Chapter 11, are permitted in required setbacks.
4.
Uncovered, unenclosed pedestrian bridges, necessary for access and less than 5 feet in width, are permitted in required setbacks.
5.
Fences, bulkheads, freestanding walls, and other similar structures
a.
Fences, freestanding walls, and other similar structures 6 feet or less in height above existing or finished grade, whichever is lower, are permitted in required setbacks. The 6-foot height may be averaged along sloping grade for each 6-foot-long segment of the fence, but in no case may any portion of the fence exceed 8 feet.
b.
Bulkheads and retaining walls used to raise grade may be placed in any required setback when limited to 6 feet in height, measured above existing grade. A guardrail no higher than 42 inches may be placed on top of a bulkhead or retaining wall existing as of September 30, 1994. If a fence is placed on top of a new bulkhead or retaining wall, the maximum combined height is limited to 9.5 feet.
c.
Bulkheads and retaining walls used to protect a cut into existing grade may not exceed the minimum height necessary to support the cut or 6 feet, whichever is greater. When the bulkhead is measured from the low side and it exceeds 6 feet, an open guardrail of no more than 42 inches meeting Building Code requirements may be placed on top of the bulkhead or retaining wall. A fence must be set back a minimum of 3 feet from such a bulkhead or retaining wall.
6.
Setback requirements do not limit underground structures.
7.
Detached solar collectors are permitted in required setbacks. Such collectors may be no closer than 5 feet to any other principal or accessory structure, and no closer than 3 feet to any lot line that abuts a residentially zoned lot.
8.
Dumpsters and other trash receptacles, except for trash compactors, located outside of structures are not permitted within 10 feet of any lot line that abuts a residential zone and must be screened per the provisions of Section 23.47A.016.
9.
Green stormwater infrastructure (GSI) features are allowed without setback restrictions if:
a.
Each above-grade GSI feature is less than 4.5 feet tall, excluding piping;
b.
Each above-grade GSI feature is less than 4 feet wide; and
c.
The total storage capacity of all above-grade GSI features is no greater than 600 gallons.
10.
Above-grade GSI features larger than what is allowed in subsection 23.47A.014.G.9 are allowed within a required setback if:
a.
Above-grade GSI features do not exceed ten percent coverage of any one setback area;
b.
No portion of an above-grade GSI feature is located closer than 2.5 feet from a side lot line;
c.
No portion of an above-grade GSI feature projects more than 5 feet into a front or rear setback area; and
d.
Above-grade GSI features meet all applicable Building Code and Plumbing Code requirements.
H.
Setback requirement for loading adjacent to an alley. Where access to a loading berth is from the alley, and truck loading is parallel to the alley, a setback of 12 feet is required for the loading berth, measured from the centerline of the alley (Exhibit D for 23.47A.014). This setback must be maintained up to a height of 12 feet.
Exhibit D for 23.47A.014
Structure setback for truck loading
I.
A setback may be required in order to meet the provisions of Section 23.53.015, Improvement requirements for existing streets in residential and commercial zones, and Section 23.53.030, Alley improvements in all zones.
(Ord. 126685, § 27, 2022; Ord. 126509, § 66, 2022 [zone name change]; Ord. 125791, § 54, 2019; Ord. 125603, § 29, 2018; Ord. 125081, § 4, 2016; Ord. 124952, § 15, 2015; Ord. 124843, § 32, 2015; Ord. 124378, § 43, 2013; Ord. 123649, § 21, 2011; Ord. 122935, § 8, 2009; Ord. 122311, § 44, 2006.)
A.
On lots that are partially within the Shoreline District, a view corridor shall be required for the entire lot if the portion of the lot in the Shoreline District is required to provide a view corridor under the Seattle Shoreline Master Program.
B.
Measurement and modification of the view corridor requirement must be according to the Shoreline District measurement regulations.
(Ord. 122311, § 44, 2006.)
A.
Landscaping requirements
1.
The Director shall promulgate rules to foster the long-term health, viability, and coverage of plantings. The rules shall address, at a minimum, the type and size of plants, spacing of plants, use of drought-tolerant plants, and access to light and air for plants. All landscaping provided to meet the requirements of this Section 23.47A.016 shall comply with these rules.
2.
Landscaping that achieves a Green Factor score of 0.3 or greater, pursuant to Section 23.86.019, is required for any lot with:
a.
development containing more than four new dwelling units or a congregate residence; or
b.
development, either a new structure or an addition to an existing structure, containing more than 4,000 new square feet of non-residential uses; or
c.
any parking lot containing more than 20 new parking spaces for automobiles.
B.
Street tree requirements
1.
Street trees are required when any development is proposed, except as provided in subsection 23.47A.016.B.2 and Section 23.53.015. Existing street trees shall be retained unless the Director of Transportation approves their removal. The Director, in consultation with the Director of Transportation, will determine the number, type, and placement of street trees to be provided to:
a.
Improve public safety;
b.
Promote compatibility with existing street trees;
c.
Match trees to the available space in the planting strip;
d.
Maintain and expand the urban forest canopy;
e.
Encourage healthy growth through appropriate spacing;
f.
Protect utilities; and
g.
Allow access to the street, buildings, and lot.
2.
Exceptions to street tree requirements
a.
If a lot borders an unopened right-of-way, the Director may reduce or waive the street tree requirement along that street if, after consultation with the Director of Transportation, the Director determines that the street is unlikely to be opened or improved.
b.
Street trees are not required for any of the following:
1)
Modifying principal single-family dwelling units, except as provided in subsection 23.47A.016.B.3; or
2)
Changing a use, or establishing a temporary use or intermittent use; or
3)
Expanding a structure by 1,000 square feet or less; or
4)
Expanding surface area parking by less than ten percent in area and less than ten percent in number of spaces.
3.
When an existing structure is proposed to be expanded by more than 1,000 square feet, one street tree is required for each 500 square feet over the first 1,000 square feet of additional structure, up to the maximum number of trees that would be required for new construction.
4.
If it is not feasible to plant street trees in a right-of-way planting strip, a 5-foot setback shall be planted with street trees along the street property line or landscaping other than trees shall be provided in the planting strip, subject to approval by the Director of Transportation. If, according to the Director of Transportation, a 5-foot setback or landscaped planting strip is not feasible, the Director of the Seattle Department of Construction and Inspections may reduce or waive this requirement.
C.
General standards for screening and landscaping where required for specific uses
1.
Screening shall consist of fences, walls, or landscaped areas, including bioretention facilities or landscaped berms. Any type of screening shall be at least as tall as the height specified in subsection 23.47A.016.D.
2.
Landscaped areas required under subsection 23.47A.016.D must meet rules promulgated by the Director pursuant to subsection 23.47A.016.A.1. Decorative features such as decorative pavers, sculptures or fountains, or pedestrian access meeting the Seattle Building Code, Chapter 11, may cover a maximum of 30 percent of each landscaped area used to satisfy requirements under subsection 23.47A.016.D.
D.
Screening and landscaping requirements for specific uses. When there is more than one use that requires screening or landscaping, the requirement that results in the greater amount applies.
1.
Surface parking areas
a.
Landscaping requirements for surface parking areas are established in Table A for 23.47A.016.
1)
Each landscaped area shall be no smaller than 100 square feet and must be protected by permanent curbs or structural barriers.
2)
No part of a landscaped area shall be less than 4 feet in width or length except those parts of landscaped areas created by turning radii or angles of parking spaces.
3)
No parking space shall be more than 60 feet from a required landscaped area.
b.
The landscaped area may include bioretention facilities.
c.
Trees in surface parking areas
1)
One tree is required for every ten parking spaces.
2)
Trees shall be selected in consultation with the Director of Transportation.
d.
Screening of surface parking areas
1)
Three-foot-high screening is required along street lot lines.
2)
Surface screening is required for parking abutting or across an alley from a lot in a residential zone or abutting a lot that is zoned both commercial and residential if the commercial zoned portion of the abutting lot is less than 50 percent of the width or depth of the lot. Such parking shall have 6-foot-high screening along the abutting lot line and a 5-foot-deep landscaped area inside the screening (see Exhibit A for 23.47A.016).
Exhibit A for 23.47A.016
e.
The Director may waive or reduce the requirements of this subsection 23.47A.016.D.1:
1)
to improve safety;
2)
to provide adequate maneuvering room for service vehicles;
3)
when it would not otherwise be feasible to provide the required number of spaces; or
4)
when required parking can only be provided at the rear lot line and access to individual parking spaces can only be provided directly from the alley.
f.
In deciding whether and to what extent to waive or reduce the landscaping and screening requirements, the Director shall consider whether:
1)
the lot width and depth permit alternative workable site plans that would allow screening and landscaping;
2)
the character of uses across the alley, such as a parking garage accessory to a multifamily structure, makes the screening and landscaping less necessary;
3)
the lot is in a location where access to parking from the street is not permitted; and
4)
a topographic break between the alley and the residential zone makes screening less necessary.
2.
Fences or free-standing walls associated with utility services uses may obstruct or allow views to the interior of a site. Where site dimensions and site conditions allow, applicants are encouraged to provide both a landscaped setback between the fence or wall and the right-of-way, and a fence or wall that provides visual interest facing the street lot line, through the height, design or construction of the fence or wall, including the use of materials, architectural detailing, artwork, vegetated trellises, decorative fencing, or similar features. Any fence or free-standing wall for a utility services use must provide either:
a)
A 5-foot-deep landscaped area between the wall or fence and the street lot line; or
b)
Architectural detailing, artwork, vegetated trellises, decorative fencing, or similar features to provide visual interest facing the street lot line, as approved by the Director.
3.
Other uses or circumstances. Screening and landscaping is required according to Table B for 23.47A.016:
Exhibit B for 23.47A.016 Screening of parking within or under a structure
Exhibit C for 23.47A.016 Screening of open storage areas in C1 zones
Exhibit D for 23.47A.016 - Screening of open storage areas in C2 zones
4.
On lots within the Shoreline District where view corridors are required, the Director may reduce the required height of screening and may modify the location and type of required landscaping so that views are not obstructed.
5.
When one of the specific uses listed in this subsection 23.47A.016.D is proposed for expansion, the applicable requirements for that use shall be met. The Director may reduce or waive the requirements where they are physically infeasible due to the location of existing structures or required parking.
E.
Breaks in required screening are permitted to provide pedestrian and vehicular access. Breaks in required screening for vehicular access shall not exceed the width of permitted curb cuts.
(Ord. 126821, § 3, 2023; Ord. 125603, § 30, 2018 [table lettering correction and style update]; Ord. 125272, § 29, 2017; Ord. 124952, § 16, 2015; Ord. 124919, § 137, 2015 [department name change and style update]; Ord. 124843, § 33, 2015 [corrected subsection numbering and amended one "must" to "shall"]; Ord. 124608, § 9, 2014; Ord. 123649, § 22, 2011; Ord. 123547, § 4, 2011; Ord. 123046, § 65, 2009 [amended "chart" to "table"]; Ord. 122935, § 9, 2009; Ord. 122311, § 44, 2006.)
C and NC zones with a mandatory housing affordability suffix are subject to the provisions of Chapters 23.58B and 23.58C.
(Ord. 125791, § 55, 2019; Ord. 125432, § 5, 2017; Ord. 125267, § 15, 2017.)
A.
In an NC1, NC2 or NC3 zone, all manufacturing, fabricating, repairing, refuse compacting and recycling activities shall be conducted wholly within an enclosed structure. In a C1 or C2 zone, location within an enclosed structure is required only when the structure is located within 50 feet of a residential zone, except when required as a condition for permitting a major noise generator according to subsection 23.47A.018.B. Doors on such a structure that are further than 50 feet from the residential zone and that face away from the residential zone may remain open.
B.
Major Noise Generators.
1.
The following uses are considered major noise generators:
a.
Light and general manufacturing;
b.
Major vessel repair;
c.
Aircraft repair shops;
d.
Major vehicle repair;
e.
Cargo terminals;
f.
Recycling;
g.
Other similar uses.
2.
Exterior heat exchangers and other similar devices (e.g., ventilation, air-conditioning, refrigeration) are considered major noise generators.
3.
When a major noise generator is proposed, or when an existing major noise generator is proposed to be expanded, a report from an acoustical consultant shall be required to describe the measures to be taken by the applicant in order to meet noise standards for the area. Such measures may include, for example, the provision of buffers, reduction in hours of operation, relocation of mechanical equipment, increased setbacks and use of specified construction techniques or building materials. Measures to be used shall be specified on the plans. After a permit has been issued, any measures that were required by the permit to limit noise shall be maintained.
(Ord. 123046, § 32, 2009; Ord. 122311, § 44, 2006.)
A.
The venting of odors, vapors, smoke, cinders, dust, gas, and fumes shall be at least 10 feet above finished sidewalk grade, and directed away to the extent possible from uses within 50 feet of the vent.
B.
Major odor sources
1.
Uses that employ the following odor-emitting processes or activities are major odor sources:
a.
Lithographic, rotogravure, or flexographic printing;
b.
Film burning;
c.
Fiberglassing;
d.
Selling of gasoline and/or storage of gasoline in tanks larger than 260 gallons;
e.
Handling of heated tars and asphalts;
f.
Incinerating (commercial);
g.
Tire buffing;
h.
Metal plating;
i.
Vapor degreasing;
j.
Wire reclamation;
k.
Use of boilers (greater than 106 British thermal units per hour, 10,000 pounds steam per hour, or 30 boiler horsepower);
l.
Animal food processing;
m.
The production or processing of cannabis products by a major cannabis activity; and
n.
Other similar processes or activities.
2.
Uses that employ the following processes are considered major odor sources, except when the entire activity is conducted as part of a commercial use other than food processing or heavy commercial services:
a.
Cooking of grains;
b.
Smoking of food or food products;
c.
Fish or fishmeal processing;
d.
Coffee or nut roasting;
e.
Deep fat frying;
f.
Dry cleaning.
C.
When an application is made for a use that is a major odor source, the Director, in consultation with the Puget Sound Clean Air Agency (PSCAA), will determine the appropriate measures to be taken by the applicant in order to significantly reduce potential odor emissions and airborne pollutants. The measures to be taken must be indicated on plans submitted to the Director and may be required as conditions for the issuance of any permit. After a permit has been issued, any measures that were required by the permit must be maintained.
(Ord. 127099, § 25, 2024; Ord. 124969, § 6, 2016; Ord. 123046, § 33, 2009; Ord. 122311, § 44, 2006.)
A.
Exterior lighting must be shielded and directed away from adjacent uses.
B.
Interior lighting in parking garages must be shielded to minimize nighttime glare affecting nearby uses.
C.
To prevent vehicle lights from affecting adjacent properties, driveways and parking areas for more than two (2) vehicles shall be screened from adjacent properties by a fence or wall between five (5) feet and six (6) feet in height, or solid evergreen hedge or landscaped berm at least five (5) feet in height. If the elevation of the lot line is different from the finished elevation of the driveways or parking surface, the difference in elevation may substitute for a portion of the required height of the screen so long as the screen itself is a minimum of three (3) feet in height. The Director may waive the requirement for the screening if it is not needed due to changes in topography, agreements to maintain an existing fence, or the nature and location of adjacent uses.
D.
Height.
1.
Exterior lighting on poles is permitted up to a maximum height of thirty (30) feet from finished grade. In zones with a forty (40) foot or greater height limit, exterior lighting on poles is permitted up to a height of forty (40) feet from finished grade, provided that the ratio of watts to area is at least twenty (20) percent below the maximum exterior lighting level permitted by the Energy Code.
2.
Athletic Fields.
a.
Light poles for illumination of athletic fields on new and existing public school sites may exceed the maximum permitted height set forth in subsection D1, above, up to a maximum height of one hundred (100) feet, where determined by the Director to be necessary to ensure adequate illumination and where the Director determines that impacts from light and glare are minimized to the greatest extent practicable. The applicant must submit an engineer's report demonstrating that impacts from light and glare are minimized to the greatest extent practicable. When proposed light poles are reviewed as part of a project being reviewed pursuant to Chapter 25.05, Environmental Policies and Procedures, and requiring a SEPA determination, the applicant must demonstrate that the additional height contributes to a reduction in impacts from light and glare.
b.
When proposed light poles are not included in a proposal being reviewed pursuant to Chapter 25.05, the Director may permit the additional height as a special exception subject to Chapter 23.76, Procedures for Master Use Permits and Council Land Use Decisions.
(1)
When seeking a special exception for taller light standards, the applicant must submit an engineer's report demonstrating that the additional height contributes to a reduction in impacts from light and glare. When the proposal will result in extending the lighted area's duration of use, the applicant must address and mitigate potential impacts, including but not limited to, increased duration of noise, traffic, and parking demand. The applicant also must demonstrate it has conducted a public workshop for residents within (⅛) one-eighth of a mile of the affected school in order to solicit comments and suggestions on design as well as potential impacts.
(2)
The Director may condition a special exception to address negative impacts from light and glare on surrounding areas, and may also impose conditions to address other impacts associated with increased field use due to the addition of lights, including, but not limited to, increased noise, traffic, and parking demand.
E.
Glare diagrams that clearly identify potential adverse glare impacts on residential zones and on arterials shall be required when:
1.
Any structure is proposed to have a facade of reflective coated glass or other highly reflective material, and/or new or expanded structures greater than 65 feet in height are proposed to have more than 30 percent of a facade composed of clear or tinted glass; and
2.
The facade(s) surfaced or composed of materials referred to in subsection 23.47A.022.E.1 above either:
a.
are oriented toward and are less than 200 feet from any residential zone, and/or
b.
are oriented toward and are less than 400 feet from any arterial with more than 15,000 vehicle trips per day, according to Seattle Department of Transportation data.
3.
When glare diagrams are required, the Director may require modification of the plans to mitigate adverse impacts, using methods including but not limited to the following:
a.
Minimizing the percentage of exterior facade that is composed of glass;
b.
Using exterior glass of low reflectance;
c.
Tilting glass areas to prevent glare that could affect arterials, pedestrians or surrounding structures;
d.
Alternating glass and non-glass materials on the exterior facade; and
e.
Changing the orientation of the structure.
A.
Amenity areas are required in an amount equal to 5 percent of the total gross floor area in residential use, except as otherwise specifically provided in this Chapter 23.47A. Gross floor area, for the purposes of this subsection 23.47A.024.A, excludes areas used for mechanical equipment and accessory parking. For the purposes of this subsection 23.47A.024.A, bioretention facilities qualify as amenity areas.
B.
Required amenity areas shall meet the following standards, as applicable:
1.
All residents shall have access to at least one common or private amenity area.
2.
Amenity areas shall not be enclosed.
3.
Parking areas, vehicular access easements, and driveways do not qualify as amenity areas, except that a woonerf may provide a maximum of 50 percent of the amenity area if the design of the woonerf is approved through a design review process pursuant to Chapter 23.41.
4.
Common amenity areas shall have a minimum horizontal dimension of 10 feet, and no common amenity area shall be less than 250 square feet in size.
5.
Private balconies and decks shall have a minimum area of 60 square feet, and no horizontal dimension shall be less than 6 feet.
6.
Rooftop areas excluded because they are near minor communication utilities and accessory communication devices, pursuant to subsection 23.57.012.C.1.d, do not qualify as amenity areas.
(Ord. 124952, § 17, 2015; Ord. 123495, § 49, 2011; Ord. 122311, § 44, 2006.)
A.
The Director, in consultation with the Director of the Department of Neighborhoods, may waive or allow departures from standards for street level development, residential amenity areas, setbacks, floor area ratio limits and screening and landscaping for designated landmark structures or for development within a Landmark District pursuant to Seattle Municipal Code, Title 25 or within a Special Review District pursuant to Seattle Municipal Code, Chapter 23.66.
B.
The Director's decision to waive or allow departures from development standards shall be consistent with adopted District design and development guidelines and shall be consistent with the recommendations of the Landmarks Preservation Board or the Director of Neighborhoods except when potential environmental impacts clearly require denial or granting lesser waivers or departures.
(Ord. 123495, § 50, 2011; Ord. 122935, § 10, 2009; Ord. 122311, § 44, 2006.)
A.
Number of Drive-in Lanes and Fuel Pumps Permitted.
1.
Drive-in lanes are permitted, conditioned, or prohibited as follows:
2.
In NC zones, gas stations may contain no more than four (4) fuel pumps capable of fueling no more than eight (8) automobiles simultaneously, except as may be allowed under subsection A3 of this section.
3.
The Director shall permit one (1) additional lane and one (1) additional fuel pump provided that the additional lane serves, and the additional fuel pump dispenses, one or more of the following fuels: natural gas, bio-diesel, or hydrogen.
4.
Gas stations in all NC zones, and restaurants with drive-in lanes in NC3 zones, are permitted subject to the following requirements:
a.
The design, including architectural treatment, signage, landscaping and lighting, is compatible with other structures in the vicinity;
b.
Appropriate litter-control measures are provided; and
c.
The applicant, if required by the Director, prepares an analysis of traffic, circulation and parking impacts, and demonstrates that the drive-in lanes will not:
(1)
Cause significant additional traffic to circulate through adjacent residential neighborhoods;
(2)
Disrupt the pedestrian character of an area by significantly increasing the potential for pedestrian-vehicle conflicts;
(3)
Create traffic or access problems that will require the expenditure of City funds to mitigate;
(4)
Interfere with peak-hour transit operations, by causing auto traffic to cross a designated high-occupancy vehicle lane adjacent to the lot;
(5)
Cause cars waiting to use the facility to queue across the sidewalk or onto the street; or
(6)
Interrupt established retail or service frontage designed to serve pedestrians.
B.
Drive-in businesses must provide queuing spaces according to the following:
1.
Banks with drive-in facilities: a minimum of five (5) queuing spaces per lane when the number of lanes does not exceed two (2). When the number of drive-in lanes exceeds two (2) a minimum of three (3) queuing spaces per lane is required.
2.
Car washes: a minimum of ten (10) queuing spaces.
C.
If the drive-in bank or car wash is located along either a principal arterial or a minor arterial, or along a street with only one lane for moving traffic in each direction, the Director will determine as a Type I Master Use Permit decision, after consulting with the Director of Transportation, whether additional queuing spaces are necessary or whether access should be restricted. The Director may restrict access to the facility from that arterial or street, or may require additional queuing space up to a maximum of:
1.
Banks with one (1) or two (2) drive-in lanes, eight (8) spaces per lane;
2.
Banks with three (3) or more drive-in lanes, six (6) spaces per lane;
3.
Car washes, twenty (20) spaces per lane.
D.
The Director will determine the minimum number of queuing spaces needed for drive-in business uses not specifically identified in subsection B and C above.
E.
Screening and landscaping of drive-in businesses is required in accordance with subsection 23.47A.016 D2.
(Ord. 122311, § 44, 2006.)
A.
Access to parking
1.
NC zones. The following rules apply in NC zones, except as provided under subsections 23.47A.032.A.2 and 23.47A.032.D:
a.
Access to parking shall be from the alley if the lot abuts an alley improved to the standards of subsection 23.53.030.C, or if the Director determines that alley access is feasible and desirable to mitigate parking access impacts. If alley access is infeasible, the Director may allow street access.
b.
If access is not provided from an alley and the lot abuts only one street, access is permitted from the street, and limited to one two-way curb cut.
c.
If access is not provided from an alley and the lot abuts two or more streets, access is permitted across one of the side street lot lines pursuant to subsection 23.47A.032.C, and curb cuts are permitted pursuant to subsection 23.54.030.F.2.a.1.
d.
For each permitted curb cut, street-facing facades may contain one garage door, not to exceed the maximum width allowed for curb cuts.
2.
In addition to the provisions governing NC zones in subsection 23.47A.032.A.1, the following rules apply in pedestrian-designated zones, except as may be permitted under subsection 23.47A.032.D:
a.
If access is not provided from an alley and the lot abuts two or more streets, access to parking shall be from a street that is not a principal pedestrian street.
b.
If access is not provided from an alley and the lot abuts only a principal pedestrian street or streets, access is permitted from the principal pedestrian street, and limited to one two-way curb cut.
3.
In C1 and C2 zones, access to off-street parking may be from a street, alley, or both when the lot abuts an alley. However, structures in C zones with residential uses, structures in C zones with pedestrian designations, and structures in C zones across the street from residential zones shall meet the requirements for parking access for NC zones as provided in subsection 23.47A.032.A.1. If two or more structures are located on a single site, then a single curb cut shall be provided according to the standards in Sections 23.47A.032.A.1, 23.47A.032.A.2, and 23.54.030.F.2.
4.
In the event of conflict between the standards for curb cuts in this subsection 23.47A.032.A and the provisions of subsection 23.54.030.F, the standards in subsection 23.54.030.F shall control.
B.
Location of parking
1.
The following rules apply in NC zones, except as provided in subsection 23.47A.032.D:
a.
Parking shall not be located between a structure and a street lot line (Exhibit A for 23.47A.032).
Exhibit A for 23.47A.032
Parking Not Permitted Between a Structure and Street in NC Zones
b.
Within a structure, street-level parking shall be separated from street-level, street-facing facades by another permitted use. This requirement does not apply to access to parking meeting the standards of subsection 23.47A.032.A.
c.
Parking to the side of a structure shall not exceed 60 feet of street frontage (Exhibit B for 23.47A.032).
Exhibit B for 23.47A.032
Parking to the Side of a Structure in NC Zones
2.
In pedestrian designated zones, surface parking is prohibited abutting the street lot line along a principal pedestrian street.
3.
Off-street parking may be located anywhere on a lot in C1 and C2 zones, except that structures with residential uses in C zones, structures in C zones with pedestrian designations, and structures in C zones across the street from residential zones shall meet the requirements for parking location for NC zones as provided in subsection 23.47A.032.B.1, except that if a lot in a C zone is bordered by streets on all sides, then parking may be provided between a street and a structure, but only on sides facing other commercially zoned lots.
4.
Required parking shall be located no farther than 800 feet from the lot with the use to which it is accessory, and off-site parking shall comply with the provisions of Section 23.54.025.
C.
When a lot fronts on two or more streets, the Director will determine which of the streets will be considered the front lot line, for purposes of this section only. In making a determination, the Director will consider the following criteria:
1.
The extent to which each street's pedestrian-oriented character or commercial continuity would be disrupted by curb cuts, driveways or parking adjacent to the street;
2.
The potential for pedestrian and automobile conflicts; and
3.
The relative traffic capacity of each street as an indicator of the street's role as a principal commercial street.
D.
Exceptions to parking location and access requirements
1.
Access to off-street parking may be from a street if, due to the relationship of an alley to the street system, use of the alley for parking access would create a significant safety hazard as determined by the Director.
2.
If a lot borders an unopened right-of-way, the Director may apply the parking access and location requirements as if that street did not border the lot if, after consultation with the Director of Transportation, the Director determines that the street is unlikely to be opened or improved.
3.
On waterfront lots in the Shoreline District, parking may be located between the structure and the front lot line, if necessary to prevent blockage of view corridors or to keep parking away from the edge of the water as required by the Shoreline Master Program.
4.
For fire and police stations, the Director shall determine the appropriate access to parking based upon needs of emergency and other vehicles and the configuration of the site.
E.
When an existing building is proposed to be expanded, the Director shall determine the location of parking and access with the goal of minimizing the impact of parking and access along the front lot line.
F.
Access to a loading berth shall be from the alley if the lot abuts an alley improved to the standards of subsection 23.53.030.C, or if the Director determines that alley access is feasible and desirable to mitigate right-of-way impacts.
G.
Parking shall be screened according to the provisions of Section 23.47A.016.
H.
Surface Parking.
1.
Pedestrian access through surface parking areas. Where a pedestrian entrance to one or more general sales and service or major durables retail sales uses greater in the aggregate than 30,000 square feet is oriented to a parking lot, a 5-foot-wide pedestrian walkway through the parking lot to the pedestrian entrance shall be provided for each 50 spaces of parking provided.
2.
Surface parking separating the building from the street. Where a pedestrian entrance to one or more general sales and service or major durables retail sales uses greater in the aggregate than 30,000 square feet is oriented to a surface parking area separating a building from a street, at least one 5-foot-wide pedestrian walkway from the street to the pedestrian entrance shall be provided.
(Ord. 125558, § 17, 2018; Ord. 124843, § 34, 2015; Ord. 124770, § 7, 2015; Ord. 124378, § 44, 2013; Ord. 123649, § 23, 2011; Ord. 123047, § 1, 2009; Ord. 122935, § 11, 2009; Ord. 122816, § 4, 2008; Ord. 122311, § 44, 2006.)
Proposed uses in NC zones or C zones shall meet the transportation concurrency level-of-service standards prescribed in Chapter 23.52.
(Ord. 122311, § 44, 2006.)
A.
In addition to the requirements in subsection 23.47A.035.B, assisted living facilities are subject to the development standards of the zone in which they are located, except that the amenity area requirements of Section 23.47A.024 do not apply.
B.
Other requirements
1.
Minimum unit size. Assisted living units shall be designed to meet the minimum square footage required by WAC 388-110-140.
2.
Facility kitchen. An on-site kitchen that serves the entire assisted living facility is required.
3.
Communal area. Communal areas that are either interior or exterior spaces, such as solariums, decks and porches, recreation rooms, dining rooms, living rooms, foyers and lobbies, and gardens or other outdoor landscaped areas shall be provided as follows:
a.
The total amount of communal area shall equal at least 10 percent of the total floor area in assisted living units. In calculating the total floor area in assisted living units, all of the area of each unit, excluding bathrooms, is counted, including counters, closets and built-ins;
b.
Service areas, including, but not limited to, the facility kitchen, laundry, hallways and corridors, supply closets, operations and maintenance areas, staff areas and offices, and rooms used only for counseling or medical services, shall not be counted as required communal area;
c.
A minimum of 400 square feet of the required communal area shall be provided as an outdoor area, with no dimension less than 10 feet. Outdoor areas provided as required communal area shall be accessible to people with disabilities; and
d.
Adequate seating for residents and guests shall be provided in required communal areas.
(Ord. 124172, § 7, 2013; Ord. 123495, § 52, 2011; Ord. 122311, § 44, 2006.)
Transitional encampments accessory to religious facilities or to principal uses located on property owned or controlled by a religious organization are regulated by Section 23.42.054, Transitional Encampments Accessory to Religious Facilities.
(Ord. 123729, § 5, 2011.)
In addition to the development standards of the zone, pet daycare centers are subject to the following:
A.
Operating business establishments that have been providing pet daycare services as of July 31, 2006, may continue notwithstanding nonconformities to applicable development standards, provided the provisions of this Section 23.47A.039 are met.
B.
The pet daycare center shall be permitted by Public Health-Seattle & King County, as required by Section 10.72.020.
C.
Facilities for the boarding of animals may occupy no more than 30 percent of the gross floor area of the pet daycare center. A pet grooming service may provide facilities for the boarding of animals subject to the regulations for pet daycare centers in this Section 23.47A.039.
D.
Required loading pursuant to 23.54.015 may be provided in a public right of way if the applicant can demonstrate to the Director, in consultation with the Seattle transportation Department, that pedestrian circulation or vehicle traffic will not be significantly impacted.
E.
Applicants must submit at the time of permit application, written operating procedures, such as those recommended by the American Boarding and Kennel Association (ABKA) or the American Kennel Club (AKC). Such procedures, which are to be followed for the life of the business, must address the identification and correction of animal behavior that impacts surrounding uses, including excessive barking.
F.
Violations of this Section.
1.
Any violation in a pet daycare center of SMC 25.08.500, Public disturbance noises, shall be a violation of this title.
2.
When a notice of violation is issued for animal noise, the Director may require a report from an acoustical consultant to describe measures to be taken by the applicant to mitigate adverse noise impacts. The Director may require measures, including but not limited to: development or modification of operating procedures; cessation of the use of outdoor area(s); closure of windows and doors; reduction in hours of operation; use of sound attenuating construction or building materials such as insulation and noise baffles.
In lieu of meeting development standards contained in subsections 23.47A.012.A (height) and 23.47A.013.A (floor area), a proposed development that meets the requirements of Section 23.42.055 may elect to meet the alternative development standards in this Section 23.47A.040.
A.
Maximum height
1.
The applicable height limit for development permitted pursuant to Section 23.42.055 in NC zones and C zones as designated on the Official Land Use Map, Chapter 23.32 is increased as shown in Table A for 23.47A.040.
2.
Split-zoned lots
a.
On lots located in two or more zones, the height limit for the entire lot shall be the highest height limit of all zones in which the lot is located, provided that:
1)
At least 65 percent of the total lot area is in the zone with the highest height limit;
2)
No portion of the lot is located in a neighborhood residential zone; and
3)
A minimum setback of 10 feet applies for any lot line that abuts a lot in a neighborhood residential zone.
b.
For the purposes of this subsection 23.47A.040.A.2, the calculation of the percentage of a lot or lots located in two or more zones may include lots that abut and are in the same ownership at the time of the permit application.
B.
Floor area
1.
Development permitted pursuant to Section 23.42.055 is subject to the FAR limits as shown in Table B for 23.47A.040.
2.
In addition to the FAR exemptions in subsection 23.47A.013.B, an additional FAR exemption up to the total amount specified in Table B for 23.47A.040 is allowed for any combination of the following floor area:
a.
Floor area in units with two or more bedrooms and a minimum net unit area of 850 square feet;
b.
Floor area of a religious facility;
c.
Floor area in a structure designated as a Landmark pursuant to Chapter 25.12; and
d.
Any floor area in a development located within 1/4 mile (1,320 feet) of a transit stop or station served by a frequent transit route as defined in subsection 23.54.015.B.4.
3.
Split-zoned lots
a.
On lots located in two or more zones, the FAR limit for the entire lot shall be the highest FAR limit of all zones in which the lot is located, provided that:
1)
At least 65 percent of the total lot area is in the zone with the highest FAR limit;
2)
No portion of the lot is located in a neighborhood residential zone; and
3)
A minimum setback of 10 feet applies for any lot line that abuts a lot in a neighborhood residential zone.
b.
For the purposes of this subsection 23.47A.040.B.3, the calculation of the percentage of a lot or lots located in two or more zones may include lots that abut and are in the same ownership at the time of the permit application.
C.
Upper-level setback. An upper-level setback of 8 feet from the lot line is required for any street-facing facade for portions of a structure exceeding the mapped height limit designated on the Official Land Use Map, Chapter 23.32.
(Ord. 126855, § 1, 2023 [amended title]; Ord. 126509, § 67, 2022 [zone name change]; Ord. 126384, § 7, 2021.)
Map A for 23.47A.005: 15th Ave West
(Ord. 125125, § 2, 2016)
Map B for 23.47A.005: Uptown Urban Center West
(Ord. 125125, § 2, 2016)
Map C for 23.47A.005: Uptown Urban Center East
(Ord. 125125, § 2, 2016)
Map D for 23.47A.005: Georgetown
(Ord. 125125, § 2, 2016)
47A - COMMERCIAL
A.
This Chapter 23.47A describes the authorized uses and development standards for the following zones:
1.
Neighborhood Commercial 1 (NC1);
2.
Neighborhood Commercial 2 (NC2);
3.
Neighborhood Commercial 3 (NC3);
4.
Commercial 1 (C1); and
5.
Commercial 2 (C2).
B.
Zones listed in subsection 23.47A.002.A and having an incentive zoning suffix are subject to this Chapter 23.47A and Chapter 23.58A, Incentive Provisions.
C.
Some land in these zones may be regulated by Subtitle III, Division 3, Overlay Districts, of this Title 23.
D.
Other regulations, including but not limited to general use provisions (Chapter 23.42); requirements for streets, alleys, and easements (Chapter 23.53); standards for parking quantity, access, and design (Chapter 23.54); standards for solid waste storage (Chapter 23.54); signs (Chapter 23.55); communications regulations (Chapter 23.57); and methods for measurements (Chapter 23.86) may apply to development proposals.
(Ord. 125791, § 48, 2019; Ord. 125267, § 11, 2017; Ord. 124969, § 4, 2016; Ord. 123770, § 6, 2011; Ord. 123495, § 48, 2011; Ord. 123046, § 29, 2009; Ord. 122311, § 44, 2006.)
A.
All uses are permitted outright, prohibited, or permitted as a conditional use according to Table A for 23.47A.004 and this Section 23.47A.004, except as may be otherwise provided pursuant to Subtitle III, Division 3, Overlay Districts, of this Title 23.
B.
All permitted uses are allowed as a principal use or as an accessory use, unless otherwise indicated in Table A for 23.47A.004.
C.
The Director may authorize a use not otherwise permitted in the zone in a Landmark structure, subject to the following criteria:
1.
The use will not require significant alteration of the structure;
2.
The design of the structure makes uses permitted in the zone impractical in the structure, or the permitted uses do not provide sufficient financial return to make use of the Landmark structure feasible; and
3.
The physical impacts of the use will not be detrimental to other properties in the zone or vicinity or to the public interest.
D.
Public facilities
1.
Uses in public facilities that are most similar to uses permitted outright or permitted as a conditional use under this Chapter 23.47A are permitted outright or as a conditional use, respectively, subject to the same use regulations, development standards, and conditional use criteria that govern the similar uses.
2.
Permitted uses in public facilities requiring council approval. Unless specifically prohibited in Table A for 23.47A.004, uses in public facilities that are not similar to uses permitted outright or permitted as a conditional use under this Chapter 23.47A, may be permitted by the Council.
3.
In all NC zones and C zones, uses in public facilities not meeting development standards may be permitted by the Council, and the Council may waive or grant departures from development standards, if the following criteria are satisfied:
a.
The project provides unique services that are not provided to the community by the private sector, such as police and fire stations;
b.
The proposed location is required to meet specific public service delivery needs;
c.
The waiver of or departure from the development standards is necessary to meet specific public service delivery needs; and
d.
The relationship of the project to the surrounding area has been considered in the design, siting, landscaping, and screening of the facility.
4.
The Council's use approvals, and waivers of or grants of departures from applicable development standards or conditional use criteria, contemplated by subsections 23.47A.004.D.2 and 23.47A.004.D.3, are governed by the provisions of Chapter 23.76, Subchapter III.
5.
Expansion of uses in public facilities
a.
Major expansion. Major expansion of uses in public facilities allowed pursuant to subsections 23.47A.004.D.1, 23.47A.004.D.2, and 23.47A.004.D.3 may be permitted according to the criteria and process in those subsections 23.47A.004.D.1, 23.47A.004.D.2, and 23.47A.004.D.3. A major expansion of a public facility use occurs when an expansion would not meet development standards or the area of the expansion would exceed either 750 square feet or ten percent of the existing area of the use, whichever is greater. For the purposes of this subsection 23.47A.004.D, area of use includes gross floor area and outdoor area devoted actively to that use, other than as parking.
b.
Minor expansion. An expansion of a use in a public facility that is not a major expansion is a minor expansion. Minor expansions to uses in public facilities allowed pursuant to subsections 23.47A.004.D.1, 23.47A.004.D.2, and 23.47A.004.D.3 may be permitted according to the provisions of Chapter 23.76 for a Type I Master Use Permit.
6.
Essential public facilities. Permitted essential public facilities, except for light rail transit facilities, shall also be reviewed according to the provisions of Chapter 23.80. Notwithstanding conflicting provisions in subsections 23.47A.004.D.3 and 23.47A.004.D.5, light rail transit facilities are exempt from the development standards in this Chapter 23.47A and shall be reviewed according to the provisions of Chapter 23.80.
7.
Youth service centers existing as of January 1, 2013, in public facilities operated by King County within urban center villages and replacements, additions, or expansions to such King County public facilities are permitted in NC3 zones.
E.
Changes from accessory to flexible-use parking may occur, subject to Section 23.54.026.
F.
Public use of accessory parking is subject to Section 23.54.027.
G.
Live-work units
1.
In all NC zones and C zones live-work units are permitted outright subject to the provisions of this Title 23.
2.
In pedestrian-designated zones, live-work units shall not occupy more than 20 percent of the street-level street-facing facade along designated principal pedestrian streets listed in subsection 23.47A.005.D.
3.
In the Lake City and Bitter Lake Village Hub Urban Villages, live-work units shall not occupy more than 20 percent of the street-level street-facing facade.
4.
Except where expressly treated as a residential use, live-work units shall be deemed a nonresidential use.
H.
Adult cabarets
1.
Any lot line of property containing any proposed new or expanding adult cabaret must be 800 feet or more from any lot line of property on which any of the following uses has been established by permit or otherwise recognized as a legally established use: community center; child care center; school, elementary or secondary; or public parks and open space use.
2.
Any lot line of property containing any proposed new or expanding adult cabaret must be 600 feet or more from any lot line of property for which a permit has been issued for any other adult cabaret.
3.
The dispersion analysis required by subsections 23.47A.004.H.1 and 23.47A.004.H.2 shall be based on the facts that exist on the earlier of:
a.
The date a complete application for a building permit for an adult cabaret for the property proposed to contain the new or expanding adult cabaret is made, or
b.
The date of publication of notice of the Director's decision on the Master Use Permit application to establish or expand an adult cabaret use, if the decision can be appealed to the Hearing Examiner, or the date of the Director's decision if no Hearing Examiner appeal is available.
I.
The terms of Table A for 23.47A.004 are subject to any applicable exceptions or contrary provisions expressly provided for in this Title 23.
(Ord. 127228, § 7, 2025; Ord. 127099, § 22, 2024; Ord. 127098, § 4, 2024; Ord. 126855, § 16, 2023; Ord. 126626, § 3, 2022; Ord. 126287, § 4, 2021; Ord. 126131, § 6, 2020; Ord. 125558, § 14, 2018; Ord. 125272, § 24, 2017; Ord. 124969, § 5, 2016; Ord. 124947, § 1, 2015; Ord. 124843, § 29, 2015; Ord. 124610, § 1, 2014; Ord. 124608, § 8, 2014; Ord. 124378, § 38, 2013; Ord. 123872, § 2, 2012; Ord. 123378, § 16, 2010; Ord. 123046, §§ 30, 65, 2009; Ord. 122935, § 2, 2009; Ord. 122411, §§ 2, 3, 2007; Ord. 122311, § 44, 2006.)
A.
The requirements of this Section 23.47A.005 apply in addition to the other applicable requirements of this Title 23.
B.
Mini-warehouses, warehouses, or utility uses may not abut a street-level, street-facing facade in a structure that contains more than one residential dwelling unit.
C.
Residential uses at street level
1.
In all NC and C zones, residential uses may occupy, in the aggregate, no more than 20 percent of the street-level street-facing facade in the following circumstances or locations:
a.
In a pedestrian-designated zone, facing a designated principal pedestrian street; or
b.
In all NC and C1 zones within the Bitter Lake Village Hub Urban Village, except lots abutting Linden Avenue North, north of North 135th Street; or
c.
Within a zone that has a height limit of 85 feet or higher, except as provided in subsection 23.47A.005.C.2; or
d.
Within an NC1 zone, except as provided in subsection 23.47A.005.C.2; or
e.
In all NC and C1 zones within the Northgate Overlay District, except as provided in Section 23.71.044; or
f.
In all NC and C1 zones within the areas shown on Maps A through D for 23.47A.005 at the end of this Chapter 23.47A when facing an arterial street.
2.
Subsection 23.47A.005.C.1 notwithstanding, there is no restriction on the location of residential uses in the following circumstances:
a.
The development is low-income housing; or
b.
The residential use is an assisted living facility or nursing home and private living units are not located at street level; or
c.
Within the Pike/Pine Conservation Overlay District, for street-facing facades that do not face a designated principal pedestrian street, as shown on Map A for 23.73.008; or
d.
In a structure existing on January 1, 2012, that is within an NC1 zone but not located in an area defined in Maps A through D for 23.47A.005, at the end of this Chapter 23.47A, a live-work space may be converted to an accessory dwelling unit if the residential use is established, if the area proposed to be converted meets the minimum housing standards of Chapter 22.206.
3.
Additions to, or on-site accessory structures for, existing single-family structures are permitted outright.
4.
Where residential uses at street level are limited to 20 percent of the street-level, street-facing facade, such limits do not apply to residential structures separated from the street lot line by an existing structure meeting the standards of this Section 23.47A.005 and Section 23.47A.008, or by an existing structure legally nonconforming to those standards.
D.
In pedestrian-designated zones the locations of uses are regulated as follows:
1.
Along designated principal pedestrian streets, one or more of the following uses are required along 80 percent of the street-level, street-facing facade in accordance with the standards provided in subsection 23.47A.008.C.
a.
Arts facilities;
b.
Community gardens;
c.
Eating and drinking establishments;
d.
Entertainment uses, except for adult cabarets, adult motion picture theaters, and adult panorams;
e.
Food processing and craft work;
f.
Institutions, except hospitals or major institutions;
g.
Lodging uses;
h.
Medical services;
i.
Offices, provided that no more than 30 feet of the street-level, street-facing facade of a structure may contain an office use;
j.
Parks and open spaces;
k.
Rail transit facilities;
l.
Retail sales and services, automotive, in the Pike/Pine Conservation Overlay District if located within an existing structure or within a structure that retains a character structure as provided in Section 23.73.015;
m.
Sales and services, general, provided that no more than 40 feet of the street-level, street-facing facade of a structure on a principal pedestrian street may contain a customer services office;
n.
Sales and services, heavy, except for heavy commercial sales, and provided that no more than 30 feet of the street-level, street-facing facade of a structure may contain a non-household sales and service use; and
o.
Low-income housing.
The establishment of any such use is subject to the applicable use provisions of this Title 23.
2.
The following streets are principal pedestrian streets when located within a pedestrian-designated zone:
10th Avenue;
11th Avenue;
12th Avenue;
13th Avenue, between East Madison Street and East Pine Street;
14th Avenue South, except within the North Beacon Hill Residential Urban Village;
15th Avenue East;
15th Avenue Northeast, north of Lake City Way Northeast;
15th Avenue Northwest;
15th Avenue South;
17th Avenue Northwest;
20th Avenue Northwest;
22nd Avenue Northwest;
23rd Avenue;
24th Avenue Northwest;
25th Avenue Northeast;
32nd Avenue West;
35th Avenue Northeast, except within the Lake City Hub Urban Village;
35th Avenue Southwest, except within the West Seattle Junction Hub Urban Village;
39th Avenue Northeast;
Aurora Ave North, except within the Bitter Lake Village Hub Urban Village;
Ballard Avenue Northwest;
Beacon Avenue South;
Boren Avenue;
Boylston Avenue, except within the Pike/Pine Conservation Overlay District;
Broadway;
Broadway East;
California Avenue Southwest;
Delridge Way Southwest;
Dexter Avenue North;
East Green Lake Drive North;
East Green Lake Way North;
East Madison Street;
East Olive Way;
East Pike Street;
East Pine Street;
East Union Street, except within the Pike/Pine Conservation Overlay District only lots abutting East Union Street between Broadway and East Madison Street;
Eastlake Avenue East;
First Avenue North, except within the Upper Queen Anne Residential Urban Village;
Fremont Avenue North;
Fremont Place North;
Galer Street;
Green Lake Drive North;
Greenwood Avenue North;
Lake City Way Northeast;
Leary Avenue Northwest;
Linden Avenue North;
Madison Street;
Martin Luther King Jr. Way South;
Mary Avenue Northwest, between Holman Road Northwest and Northwest 87th Street;
Mercer Street;
North 34th Street;
North 35th Street;
North 45th Street;
North 85th Street;
Northeast 43rd Street;
Northeast 45th Street, except between Linden Ave North and Evanston Ave North;
Northeast 55th Street, east of 15th Avenue Northeast;
Northeast 65th Street;
Northeast 125th Street;
Northwest 65th Street;
Northwest 85th Street;
Northwest 90th Street, between Mary Avenue Northwest and 14th Avenue Northwest;
Northwest Market Street;
Phinney Avenue North, between North 58th Street and North 63rd Street;
Pike Street;
Pine Street;
Queen Anne Avenue North;
Rainier Avenue South;
Roosevelt Way Northeast;
Roy Street;
Sand Point Way Northeast;
South Alaska Street;
South Cloverdale Street;
South Henderson Street;
South Jackson Street;
South Lander Street;
South McClellan Street;
South Othello Street;
Southwest Alaska Street;
Stone Way North;
Summit Avenue, except within the Pike/Pine Conservation Overlay District;
Terry Avenue;
University Way Northeast;
Wallingford Avenue North;
West Dravus Street;
West Galer Street;
West Green Lake Drive North;
West McGraw Street, except within the Upper Queen Anne Residential Urban Village; and
Woodlawn Avenue Northeast.
(Ord. 126855, § 17, 2023; Ord. 126287, § 5, 2021; Ord. 125791, § 49, 2019; Ord. 125272, § 25, 2017; Ord. 125125, § 2, 2016; Ord. 125103, § 2, 2016; Ord. 125081, § 2, 2016; Ord. 124770, § 4, 2015; Ord. 124503, § 2, 2014; Ord. 124378, § 39, 2013; Ord. 123939, § 11, 2012; Ord. 123816, § 3, 2012; Ord. 123589, § 8, 2011; Ord. 123046, § 1, 2009; Ord. 123020, § 9, 2009; Ord. 122935, § 3, 2009; Ord. 122311, § 44, 2006.)
A.
The following uses, where identified as administrative conditional uses on Table A for 23.47A.004, or other uses identified in this Section 23.47A.006, may be permitted by the Director when the provisions of both Section 23.42.042 and this subsection 23.47A.006.A are met:
1.
Drinking establishments. Drinking establishments in NC1 and NC2 zones may be permitted as a conditional use subject to the following:
a.
The size of the drinking establishment, design of the structure, signing and illumination must be compatible with the character of the commercial area and other structures in the vicinity, particularly in areas where a distinct and definite pattern or style has been established.
b.
The location, access and design of parking must be compatible with adjacent residential zones.
c.
Special consideration will be given to the location and design of the doors and windows of drinking establishments to help ensure that noise standards will not be exceeded. The Director may require additional setbacks and/or restrict openings where the drinking establishment is located on a lot that abuts or is across from a residential zone.
d.
Drinking establishments must not generate traffic that creates traffic congestion or further worsens spillover parking on residential streets.
2.
Park and ride facilities. Park and ride facilities on surface parking lots in NC2, NC3, C1, and C2 zones may be permitted as conditional uses in a Type II decision, subject to the following:
a.
The park and ride facility shall have direct vehicular access to a designated arterial improved to City standards in subsection 23.53.015.B.
b.
If the proposed park and ride facility is located on a lot containing required accessory parking for other uses, there must be no substantial conflict in the principal operating hours of the park and ride facility and other uses on the lot.
c.
The Director may require noise mitigation, vehicular access control, signage restrictions, landscaping and screening in addition to that required for surface parking areas, and other measures to provide comfort and safety for pedestrians and bicyclists. The purpose of these measures is to ensure the compatibility of the park and ride facility with the surrounding area.
3.
Residential Uses in C2 zones.
a.
Residential uses may be permitted in C2 zones as a conditional use subject to the following criteria:
1)
The residential use generally should not be located in an area with direct access to major transportation systems such as freeways, state routes and freight rail lines.
2)
The residential use generally should not be located in close proximity to industrial areas and/or nonresidential uses or devices that have the potential to create a nuisance or adversely affect the desirability of the area for living purposes as indicated by one of the following:
i.
The nonresidential use is prohibited in the NC3 zone;
ii.
The nonresidential use or device is classified as a major noise generator; or
iii.
The nonresidential use is classified as a major odor source.
3)
In making a determination to permit or prohibit residential uses in C2 zones, the Director shall take the following factors into account:
i.
The distance between the lot in question and major transportation systems and potential nuisances;
ii.
The presence of physical buffers between the lot in question and major transportation systems and potential nuisance uses;
iii.
The potential cumulative impacts of residential uses on the availability for nonresidential uses of land near major transportation systems; and
iv.
The number, size and cumulative impacts of potential nuisances on the proposed residential uses.
b.
Residential uses required to obtain a shoreline conditional use permit are not required to obtain an administrative conditional use permit.
c.
Additions to, and accessory structures on the same lot as, existing residential structures are permitted outright.
4.
Medical service uses. Medical service uses over 10,000 square feet, outside but within 2,500 feet of a medical Major Institution overlay district boundary, may be approved as administrative conditional uses, except that they are permitted outright if included in an adopted master plan or dedicated to veterinary services. In order to approve a medical service use under this subsection, the Director must determine that an adequate supply of commercially zoned land for businesses serving neighborhood residents will continue to exist. The following factors will be used in making this determination:
a.
Whether the amount of medical service uses existing and proposed in the vicinity would result in an area containing a concentration of medical services with few other uses; and
b.
Whether medical service uses would displace existing neighborhood-serving commercial uses at street level or disrupt a continuous commercial street front, particularly of general sales and services uses, or significantly detract from an area's overall neighborhood-serving commercial character.
5.
Change of One Nonconforming Use to Another. A nonconforming use may be converted by an administrative conditional use authorization to a use not otherwise permitted in the zone based on the following factors:
a.
New uses are limited to those permitted in the next more intensive zone;
b.
The relative impacts of size, parking, traffic, light, glare, noise, odor and similar impacts of the two uses, and how these impacts could be mitigated; and
c.
The Director must find that the new nonconforming use is no more detrimental to property in the zone and vicinity than the existing nonconforming use.
6.
Lodging uses in NC2 zones are permitted up to 25,000 square feet, when all of the following conditions are met, except that bed and breakfasts in existing structures are permitted outright with no maximum size limit:
a.
The lodging use contains no more than fifty units;
b.
The design of the development, including but not limited to signing and illumination, is compatible with surrounding commercial areas; and
c.
Auto access is via an arterial street.
7.
A recycling use that is located on the same development site as a solid waste transfer station may be permitted as a conditional use in Commercial 2 (C2) zones subject to the following additional provisions:
a.
Accessory structures including entrance/exit kiosks, walls, screening, and other minor incidental improvements, are permitted;
b.
A setback of at least 65 feet is provided between any façade of the principal structure containing the recycling use and any lot line that abuts or is across a street from a residentially zoned lot;
c.
Trucks allowed to access the recycling use to drop off recyclables shall not exceed a maximum of two axles;
d.
Rooftop features on the principal structure shall not exceed the maximum height limit of the zone;
e.
All transfer, handling, and compacting of recyclable materials shall be conducted within an enclosed structure;
f.
Outdoor storage is prohibited.
g.
60 percent of the C2-zoned portion of the development site is maintained as open space. For these purposes, surface parking and driveways are not considered open space.
h.
Office use and crew space use accessory to a solid waste transfer station use on the same development site may be allowed within a structure containing a recycling use.
8.
Parking and driveways accessory to a solid waste transfer station. Parking and driveways on property in a C2 zone are permitted as a conditional use accessory to a solid waste transfer station according to the following provisions:
a.
The parking is on property that is part of the same development site as the solid waste transfer station use;
b.
The parking meets the criteria of Section 23.50.014.A;
c.
The parking is subject to analysis in a transportation plan, if a transportation plan is required by the Director pursuant to subsection 23.50.014.B.7.c.
d.
Surface parking is not across the street from a residentially zoned lot.
e.
A setback of at least 65 feet is required between surface parking spaces and any lot line that abuts or is across a street from a commercially zoned lot; and
f.
Driveways providing access to parking or access to the solid waste transfer station are on the same development site as the solid waste transfer station use.
B.
The following uses, identified as Council Conditional Uses on Table A of Section 23.47A.004, may be permitted by the Council when the provisions of Section 23.42.042 are met, subject to the following additional provisions:
1.
In C1 and C2 zones, new bus bases for 150 or fewer buses, and existing bus bases that are proposed to be expanded to accommodate additional buses, according to the following standards and criteria.
a.
The bus base has vehicular access, suitable for use by buses, to a designated arterial improved to City standards; and
b.
The lot includes adequate buffering from the surrounding area and the impacts created by the bus base have been effectively mitigated.
c.
The Council may require mitigating measures, which may include, but are not limited to:
1)
Noise mitigation,
2)
An employee ridesharing program,
3)
Landscaping and screening,
4)
Odor mitigation,
5)
Vehicular access controls, and
6)
Other measures to ensure the compatibility of the bus base with the surrounding area.
2.
Helistops in NC3, C1 and C2 zones as accessory uses, according to the following:
a.
The helistop is used solely for the takeoff and landing of helicopters serving public safety, news gathering or emergency medical care functions; is a public facility that is part of a City and regional transportation plan approved by the City Council; or is part of a City and regional transportation plan approved by the City Council and is not within 2,000 feet of a residential zone.
b.
The helistop is located so as to minimize impacts on surrounding areas.
c.
The lot includes sufficient buffering of the operations of the helistop from the surrounding area.
d.
Open areas and landing pads are hard-surfaced.
e.
The helistop meets all federal requirements, including those for safety, glide angles and approach lanes.
3.
Work-release centers in all NC zones and C zones, according to the following standards and criteria:
a.
Maximum Number of Residents. No work-release center may house more than 50 persons, excluding resident staff.
b.
Dispersion Criteria.
1)
Each lot line of any new or expanding work-release center must be located 600 feet or more from any residential zone, any lot line of any assisted living facility, congregate residence, domestic violence shelter or nursing home, and any lot line of any school.
2)
Each lot line of any new or expanding work-release center must be located one mile or more from any lot line of any other work-release center.
c.
The Council's decision shall be based on the following criteria, after review by the Director and the Seattle Police Department:
1)
The applicant must demonstrate the need for the new or expanding facility in the City;
2)
The applicant must demonstrate that the facility can be made secure through a security plan to appropriately monitor and control residents, through a staffing plan for the facility, and through compliance with the security standards of the American Corrections Association;
3)
Proposed lighting must be located so as to minimize spillover light on surrounding properties while maintaining appropriate intensity and hours of use to ensure that security is maintained;
4)
The facility's landscape plan must meet the requirements of the zone while allowing visual supervision of the residents of the facility;
5)
Appropriate measures must be taken to minimize noise impacts on surrounding properties;
6)
The impacts of traffic and parking must be mitigated;
7)
The facility must be well-served by public transportation or the facility must demonstrate a commitment to a program of encouraging the use of public or private mass transportation;
8)
Verification from the Department of Corrections (DOC) must be provided that the proposed work-release center meets DOC standards for such facilities and that the facility will meet state laws and requirements.
(Ord. 125558, § 15, 2018; Ord. 123872, § 3, 2012; Ord. 123209, § 53, 2009; Ord. 123046, § 65, 2009; Ord. 122935, § 4, 2009; Ord. 122311, § 44, 2006.)
A.
An applicant may seek approval of a Major Phased Development, as defined in Section 23.84A.025. A Major Phased Development proposal is subject to the provisions of the zone in which it is located and shall meet the following thresholds:
1.
A minimum site size of five (5) acres, composed of contiguous parcels or parcels divided only by one or more rights-of-way.
2.
The proposed project, which at time of application is a single, functionally interrelated campus, contains more than one building, with a minimum total gross floor area of two hundred thousand (200,000) square feet.
3.
The first phase of the development consists of at least one hundred thousand (100,000) square feet in gross building floor area.
4.
At the time of application, the project is consistent with the general character of development anticipated by Land Use Code regulations.
B.
A Major Phased Development application shall be submitted, evaluated, and approved according to the following:
1.
The application shall contain a level of detail that is sufficient to reasonably assess anticipated impacts, including those associated with a maximum build-out, within the timeframe requested for Master Use Permit extension.
2.
A Major Phased Development component shall not be approved unless the Director concludes that anticipated environmental impacts, such as traffic, open space, shadows, construction impacts and air quality, are not significant or can be effectively monitored and conditions imposed to mitigate impacts over the extended life of the permit.
3.
Expiration or renewal of a permit for the first phase of a Major Phased Development is subject to the provisions of Chapter 23.76, Master Use Permits and Council Land Use Decisions. The Director shall determine the expiration date of a permit for subsequent phases of the Major Phased Development through the analysis provided for above; such expiration shall be no later than fifteen (15) years from the date of issuance.
C.
Changes to the approved Major Phased Development.
1.
When an amendment to a Master Use Permit with a Major Phased Development component is requested, the Director shall determine whether the amendment is minor or not.
a.
A minor amendment is one that meets the following criteria:
(1)
Substantial compliance with the approved site plan and conditions imposed in the existing Master Use Permit with the Major Phased Development component with no substantial change in the mix of uses and no major departure from the bulk and scale of structures originally proposed; and
(2)
Compliance with applicable requirements of this title in effect at the time of the original Master Use Permit approval; and
(3)
No significantly greater impact would occur.
2.
If the Director determines that the amendment is minor, the Director may approve a revised site plan as a Type I decision. The Master Use Permit expiration date of the original approval shall be retained.
3.
If the Director determines that the amendment is not minor, the applicant may either continue under the existing MPD approval or may submit a revised MPD application. The revised application shall be the subject of a Type II decision. Only the portion of the site affected by the revision shall be subject to regulations in effect on the date of the revised MPD application, notwithstanding any provision of Chapter 23.76. The decision may retain or extend the existing expiration date on the portion of the site affected by the revision.
(Ord. 122311, § 44, 2006.)
A.
Basic street-level requirements
1.
The provisions of this subsection 23.47A.008.A apply to:
a.
Structures in NC zones;
b.
Structures that contain a residential use in C zones;
c.
Structures in C zones across the street from residential zones; and
d.
All structures in pedestrian-designated zones.
2.
Blank facades
a.
For purposes of this Section 23.47A.008, facade segments are considered blank if they do not include at least one of the following:
1)
Windows;
2)
Entryways or doorways;
3)
Stairs, stoops, or porticos;
4)
Decks or balconies; or
5)
Screening and landscaping on the facade itself.
b.
Blank segments of the street-facing facade between 2 feet and 8 feet above the sidewalk may not exceed 20 feet in width.
c.
The total of all blank facade segments may not exceed 40 percent of the width of the facade of the structure along the street.
3.
Street-level, street-facing facades shall be located within 10 feet of the street lot line, unless wider sidewalks, plazas, or other approved landscaped or open spaces are provided.
B.
Non-residential street-level requirements
1.
In addition to the provisions of subsection 23.47A.008.A, the provisions of this subsection 23.47A.008.B apply to:
a.
Structures with street-level non-residential uses in NC zones;
b.
Structures with street-level non-residential uses that also contain residential uses in C zones;
c.
Structures with street-level non-residential uses in C zones across the street from residential zones; and
d.
All structures in pedestrian designated zones.
2.
Transparency
a.
Sixty percent of the street-facing facade between 2 feet and 8 feet above the sidewalk shall be transparent. For purposes of calculating the 60 percent of a structure's street-facing facade, the width of a driveway at street level, not to exceed 22 feet, may be subtracted from the width of the street-facing facade if the access cannot be provided from an alley or from a street that is not a designated principal pedestrian street.
b.
Transparent areas of facades shall be designed and maintained to provide views into and out of the structure. Except for institutional uses, no permanent signage, window tinting or treatments, shelving, other furnishings, fixtures, equipment, or stored items shall completely block views into and out of the structure between 4 feet and 7 feet above adjacent grade. The installation of temporary signs or displays that completely block views may be allowed if such temporary sign complies with subsection 23.55.012.B.
3.
Depth provisions for new structures or new additions to existing structures
a.
Non-residential uses greater than 600 square feet shall extend an average depth of at least 30 feet and a minimum depth of 15 feet from the street-level, street-facing facade.
b.
In pedestrian designated zones, non-residential uses less than 600 square feet in size shall extend an average depth of at least 20 feet and a minimum depth of 10 feet from the street-level, street-facing facade.
c.
If the combination of the requirements of Sections 23.47A.005 or 23.47A.008 and these depth requirements would result in a requirement that an area greater than 50 percent of the structure's footprint be dedicated to non-residential use, the Director may modify the street-facing facade or depth requirements, or both, so that no more than 50 percent of the structure's footprint is required to be non-residential.
4.
Height provisions for new structures or new additions to existing structures. Non-residential uses at street level shall have a floor-to-floor height of at least 13 feet.
C.
In addition to the provisions of subsections 23.47A.008.A and 23.47A.008.B, the following standards also apply in pedestrian designated zones:
1.
A minimum of 80 percent of the width of a structure's street-level street-facing facade that faces a principal pedestrian street shall be occupied by uses listed in subsection 23.47A.005.D.1. The remaining 20 percent of the street frontage may contain other permitted uses and/or pedestrian entrances (see Exhibit A for 23.47A.008).
Exhibit A for 23.47A.008
Uses and pedestrian access allowed along street-level, street-facing facades
2.
For purposes of calculating the 80 percent of a structure's street-level facade, the width of a driveway at street level, not to exceed 22 feet, may be subtracted from the width of the street-facing facade if the access cannot be provided from an alley or from a street that is not a designated principal pedestrian street.
3.
If the street-facing facade and depth requirements would result in a requirement that an area greater than 50 percent of the structure's footprint be dedicated to the uses in subsection 23.47A.005.D.1, the Director may modify the street-facing facade or depth requirements, or both, so that no more than 50 percent of the structure's footprint is required to be dedicated to the uses in subsection 23.47A.005.D.1.
4.
Overhead weather protection
a.
Continuous overhead weather protection (i.e., canopies, awnings, marquees, and arcades) is required along at least 60 percent of the street frontage of a structure on a principal pedestrian street, except for structures within the Pike/Pine Conservation Overlay District on lots that contain a character structure as provided in Chapter 23.73.
b.
The covered area shall have a minimum width of 6 feet, unless there is a conflict with existing or proposed street trees or utility poles, in which case the width may be adjusted to accommodate such features as provided in subsection 23.47A.008.C.4.f.
c.
The overhead weather protection must be provided over the sidewalk, or over a walking area within 10 feet immediately adjacent to the sidewalk. When provided adjacent to the sidewalk, the covered walking area must be at the same grade or within 18 inches of sidewalk grade and meet Washington state requirements for barrier-free access.
d.
The lower edge of the overhead weather protection shall be a minimum of 8 feet and a maximum of 12 feet above the sidewalk for projections extending a maximum of 6 feet. For projections extending more than 6 feet from the structure, the lower edge of the weather protection shall be a minimum of 10 feet and a maximum of 15 feet above the sidewalk.
e.
Adequate lighting for pedestrians shall be provided. The lighting may be located on the facade of the building or on the overhead weather protection.
f.
Where the standards listed in this subsection 23.47A.008.C.4 conflict with the vertical and horizontal clearance requirements in the street rights-of-way, the standards may be modified by the Director in consultation with the Director of Transportation.
5.
Maximum width and depth limits
a.
The maximum width and depth of a structure, or of a portion of a structure for which the limit is calculated separately according to subsection 23.47A.008.C.5.b, is 250 feet, except as otherwise provided in subsection 23.47A.008.C.5.c. Structure width may exceed 250 feet if the structure complies with the modulation standards in subsection 23.47A.014.D.
b.
For purposes of this subsection 23.47A.008.C.5, the width and depth limits shall be calculated separately for a portion of a structure if:
1)
There are no connections allowing direct access, such as hallways, bridges, or stairways, between that portion of a structure and other portions of a structure; or
2)
The only connections between that portion of a structure and other portions of a structure are in stories, or portions of stories, that are underground or extend no more than 4 feet above the sidewalk, measured at any point above the sidewalk elevation to the floor above the partially below-grade story, excluding access.
c.
For purposes of this subsection 23.47A.008.C.5, the following portions of a structure shall not be included in measuring width and depth:
1)
Designated Landmark structures that are retained on the lot.
2)
Stories of a structure on which more than 50 percent of the total gross floor area is occupied by any of the following uses:
a)
Arts facilities;
b)
Community clubs or community centers;
c)
Child care centers;
d)
Elementary or secondary schools;
e)
Performing arts theaters; or
f)
Religious facilities.
6.
Space for small commercial uses at street level
a.
Except as provided in subsection 23.47A.008.C.6.c, all structures abutting a principal pedestrian street that include more than 5,000 square feet of street-level commercial uses shall include small commercial spaces meeting the requirements of subsection 23.47A.008.C.6.b in the quantity required by Table A for 23.47A.008.C.
b.
Requirements for small commercial spaces. The required small commercial spaces must:
1)
Contain only commercial uses;
2)
Be a minimum of 300 square feet and a maximum of 1,500 square feet;
3)
Have an entrance for pedestrians from the street or from a street-oriented courtyard that is no more than 3 feet above or below the sidewalk grade; and
4)
Be separated from other commercial spaces by a physical divider such as a wall or partition.
c.
Exception. The requirements of this subsection 23.47A.008.C.6 do not apply to structures with more than 50 percent of the total street-level gross floor area occupied by any of the following uses:
1)
Arts facilities;
2)
Child care centers;
3)
Colleges;
4)
Community clubs or community centers;
5)
Libraries;
6)
Institutes for advanced study;
7)
Museums;
8)
Performing arts theatres;
9)
Grocery stores less than 15,000 square feet;
10)
Elementary or secondary schools;
11)
Religious facilities;
12)
Vocational or fine arts schools; or
13)
Shopping atriums, where multiple businesses operate within a contiguous space.
d.
As a Type I decision, the Director may waive the requirements of subsection 23.47A.008.C.6. The Director's decision shall be based on the availability of existing small commercial spaces on a principal pedestrian street:
1)
Within the same urban village as the structure;
2)
Within 400 lineal feet of the structure, if the structure is located within an urban center; or
3)
Within the same pedestrian-designated zone as the structure on the same principal pedestrian street, if the structure is located outside of an urban village or urban center.
D.
Where residential uses are located along a street-level, street-facing facade, the following requirements apply unless exempted by subsection 23.47A.008.G:
1.
At least one of the street-level, street-facing facades containing a residential use shall have a visually prominent pedestrian entry; and
2.
The floor of a dwelling unit located along the street-level, street-facing facade shall be at least 4 feet above or 4 feet below sidewalk grade or be set back at least 10 feet from the sidewalk. An exception to the standards of this subsection 23.47A.008.D.2 may be granted as a Type I decision if the following criteria are met:
a.
An accessible route to the unit is not achievable if the standard is applied or existing site conditions such as topography make access impractical if the standard is applied;
b.
The floor is at least 18 inches above average sidewalk grade or 4 feet below sidewalk grade, or is set back at least 10 feet from the sidewalk; and
c.
The visually prominent pedestrian entry is maintained.
E.
When a live-work unit is located on a street-level, street-facing facade, the provisions of subsections 23.47A.008.A and 23.47A.008.B, and the following requirements, apply:
1.
The portion of each such live-work unit in which business is conducted must be a minimum of 300 square feet and must be located between the street and the residential portion of the live-work unit. The non-residential portions of the unit shall extend the width of the street-level, street-facing facade, shall extend a minimum depth of 15 feet from the street-level, street-facing facade, and shall not contain any of the primary features of the residential (live) portion of the live-work unit, such as kitchen, sleeping, or laundry facilities, or bathrooms containing a shower or bathtub. These basic residential features shall be designed and arranged to be separated from the work portion of the live-work unit by a physical divider such as a wall or partition.
2.
Each live-work unit must have a pedestrian entry on the street-facing facade that is designed to be visually prominent and provide direct access to the non-residential portions of the unit.
3.
Each live-work unit must include an exterior sign with the name of the business associated with the live-work unit. Such signage shall be clearly associated with the unit and visible to pedestrians outside of the building.
4.
The owner of each live-work unit must keep a copy of the current business license associated with the business located in that unit on file.
F.
The Director may allow exceptions to the street-level requirements of this Section 23.47A.008, as a Type I decision, for projects that are not subject to the Design Review process, except that in a pedestrian-designated zone exceptions may not be granted for requirements for residential uses at street level, transparency requirements, or floor-to-floor height requirements as described in subsection 23.41.012.B. Exceptions may be granted if the Director determines that the project will maintain the safety and aesthetics of the streetscape for pedestrians and will:
1.
Maintain pedestrian access to the structure;
2.
Maintain urban form consistent with adjacent structures and previous design review decisions on the site;
3.
Maintain the visibility of non-residential uses;
4.
Maintain the privacy of residential uses; or
5.
Allow the continued use of an existing structure without substantial renovation.
G.
In a structure existing on January 1, 2012, an accessory dwelling unit may be established if it is accessory to an existing dwelling unit and if it meets minimum housing standards of Chapter 22.206, even if nonconforming to standards of subsection 23.47A.008.D.
(Ord. 126157, § 23, 2020; Ord. 125791, § 50, 2019; Ord. 125603, § 26, 2018; Ord. 125272, § 26, 2017; Ord. 124770, § 5, 2015; Ord. 124378, § 40, 2013; Ord. 123939, § 12, 2012; Ord. 122935, § 5, 2009; Ord. 122311, § 44, 2006.)
A.
Resolution of standards conflicts. To the extent there is a conflict between this Section 23.47A.009 and other sections of Title 23, the provisions of this Section 23.47A.009 apply.
B.
West Seattle Junction Hub Urban Village. The following provisions apply to development in the NC3 95 zone located between SW Alaska Street, SW Edmunds Street, Fauntleroy Way SW, and 40th Ave SW:
1.
Lot coverage limit. The maximum lot coverage permitted for principal and accessory structures shall not exceed 80 percent on lots 40,000 square feet in size or greater.
2.
The total permitted FAR is as identified in Section 23.47A.013.
3.
Maximum width of structures. The maximum width of all portions of a structure measured parallel to a north-south street lot line is 275 feet.
4.
Setback and separation requirements
a.
The following standards apply to structures greater than 250 feet in width measured parallel to a north-south street lot line:
1)
A minimum separation of 30 feet is required between structures that are adjacent to the same north-south street lot line; and
2)
A minimum setback of 15 feet is required from side lot lines that are not street side lot lines and that separate lots that abut the same north-south street lot line; and
3)
Structures permitted in required setback and separation areas pursuant to this subsection 23.47A.009.B.4.a and subsection 23.47A.009.B.4.b are subject to subsection 23.47A.014.G. In addition:
a)
Decks with open railings may project up to 5 feet into the required setback or separation area if they are no lower than 20 feet above existing or finished grade. Decks may cover no more than 20 percent of the total setback or separation area.
b)
Unenclosed porches or steps for residential units no higher than 4 feet above the grade at the street lot line closest to the porch are permitted.
b.
A setback of at least 10 feet from the street lot line is required along non-arterial north-south avenues for at least 25 percent of the lot frontage or 100 feet of the lot frontage, whichever is less.
c.
Required setback and areas separating structures identified in subsections 23.47A.009.B.4.a and 23.47A.009.B.4.b shall include landscaping, paving, and lighting. Sidewalks for pedestrian access, plazas, or other approved amenity or landscaped areas are permitted in required setback or separation areas.
d.
Upper-level setback requirements along SW Alaska Street
1)
Structures exceeding 65 feet in height on lots abutting SW Alaska Street between 38th Avenue SW and California Avenue SW shall maintain a minimum setback of 10 feet for that portion of the structure between 45 feet and 55 feet in height.
2)
For portions of a structure above 55 feet in height, an additional minimum setback is required at a rate of at least 1 foot of setback for every 5 feet of height that exceeds 55 feet, up to the maximum allowable height.
3)
Structures located within 100 feet of Fauntleroy Way SW are exempt from the upper-level setback requirement.
4)
Heights in this subsection 23.47A.009.B.4.d shall be measured from the middle of the street lot line along SW Alaska Street.
C.
Bitter Lake Village Hub Urban Village. Development on lots designated on Map A for 23.47A.009 shall meet the following requirements:
Map A for 23.47A.009
Standards Applicable to Specific Areas: Bitter Lake
1.
Upper-level setback requirement. The following standards apply to development on lots abutting the east side of Linden Ave North or along both sides of the corridor required in subsection 23.47A.009.C.2.
a.
Any portion of a structure greater than 45 feet in height, measured from the finished grade along the street property line that abuts Linden Avenue North or along the access corridor required in subsection 23.47A.009.C.2, measured from the finished grade along the edge of the access corridor, shall set back an average of 10 feet from the lot line abutting Linden Avenue North or from the edge of the access corridor as measured according to Section 23.86.012. The maximum depth of a setback that can be used for calculating the average setback is 20 feet.
b.
Structures permitted in required setbacks are subject to subsection 23.47A.014.G.
2.
Corridor requirement. An access corridor shall be provided on lots over 8 acres that abut Linden Avenue North and Aurora Avenue North, to connect Linden Avenue North and Aurora Avenue North. The location of the proposed corridor shall be clearly shown on the site plan that is submitted with the permit application.
a.
The corridor shall have a minimum width of 40 feet and a maximum width of 60 feet.
b.
The point at which the corridor intersects Linden Avenue North and Aurora Avenue North shall be at least 335 feet south of the south boundary of the North 135th Street right-of-way, and 700 feet north of the north boundary of the North 130th Street right-of-way, as illustrated by example in Map A for 23.47A.009.
c.
The corridor shall include a minimum of one walkway, at least 6 feet wide, extending between Linden Avenue North and Aurora Avenue North. If vehicle access is provided within the corridor, the corridor shall include walkways at least 6 feet wide along both sides of the vehicle access.
d.
Landscaping shall be provided along the corridor. If vehicle access is provided within the corridor, trees shall be provided between the walkways and vehicle travel lanes. The Director will determine the number, type, and placement of trees to be provided in order to:
1)
Match trees to the available space;
2)
Complement existing or planned street trees on abutting streets; and
3)
Encourage healthy growth through appropriate spacing.
e.
Pedestrian-scaled lighting shall be provided along the corridor.
f.
The corridor shall not include any features or structures except the following:
1)
Vehicle access, not more than one lane in each direction and meeting the standards of Section 23.54.030.
2)
Parking meeting the standards of Section 23.54.030 is allowed along vehicle access lanes within the corridor. Such parking is in addition to the maximum number of spaces allowed under subsection 23.54.015.C.2. The requirements of subsection 23.47A.032.A do not apply to access to parking from the corridor.
3)
Overhead horizontal building projections of an architectural or decorative character such as cornices, eaves, sills, and gutter, provided that they project no more than 18 inches from the structure facade.
4)
Ramps or other devices that provide access for the disabled and elderly and that meet the standards of the Seattle Building Code are permitted.
5)
Stairs or ramps to accommodate changes in grade.
6)
Underground structures.
7)
Unenclosed porches or steps for residential units no higher than 4 feet above the finished grade of the corridor are permitted to project no more than 4 feet into the corridor.
8)
Green stormwater infrastructure.
9)
Features required elsewhere in this subsection 23.47A.009.C.2.
10)
The Director may approve other features or structures, such as overhead weather protection, signage, and art, that do not impede safe access from the site to Linden Avenue North and Aurora Avenue North, and that enhance pedestrian comfort and safety of the corridor.
g.
If the area proposed for development on a site meeting the size threshold for this subsection 23.47A.009.C.2 is less than the full lot, the Director may waive or modify the access corridor requirement, if the applicant submits a site plan demonstrating how Linden Avenue North and Aurora Avenue North will be connected by an access corridor when the remainder of the lot is developed.
D.
Roosevelt Urban Village. The following provisions apply within the area shown on Map B for 23.47A.009.
1.
Setback requirements
a.
The following setbacks are required from the listed street property lines:
1)
Northeast 66th Street. An average ground-level setback of 10 feet along the length of the street property line and a minimum upper-level setback of 4 feet. The minimum upper-level setback shall be provided in addition to the required ground-level setback at all points along the length of the street property line at 45 feet of height and above, as measured from average finished grade.
2)
Brooklyn Avenue Northeast. An average ground-level setback of 5 feet along the length of the street property line and a minimum upper-level setback of 4 feet. The minimum upper-level setback shall be provided in addition to the required ground-level setback at all points along the length of the street property line at 45 feet of height and above, as measured from average finished grade.
3)
14th Avenue Northeast. An average ground-level setback of 15 feet and a minimum ground-level setback of 5 feet along the length of the street property line and a minimum upper-level setback of 3 feet. The minimum upper-level setback shall be provided in addition to the required ground-level setback at all points along the length of the street property line at 45 feet of height and above, as measured from average finished grade.
4)
15th Avenue Northeast. A minimum ground-level setback of 5 feet along the length of the street property line and an average upper-level setback of 7 feet. The average upper-level setback shall be provided in addition to the required ground-level setback at all points along the length of the street property line at 45 feet of height and above, as measured from average finished grade.
5)
Northeast 65th Street and 12th Avenue Northeast. An average ground-level setback of 8 feet shall be provided, and the setback may include pedestrian access and circulation.
b.
Structures permitted in required setbacks are subject to subsection 23.47A.014.G, except that:
1)
Decks with open railings may project up to 5 feet into the required setback area if they are no lower than 20 feet above existing or finished grade. Decks may cover no more than 20 percent of the total setback area.
2)
Stoops or porches providing direct access to individual housing units may project up to 5 feet into the required ground-level setback area, except that portions of stoops or porches not more than 2.5 feet in height from existing or finished grade, whichever is lower, may extend to a street lot line. The 2.5-foot height limit for stoops or porches does not apply to guard rails or hand rails. Such stoops or porches shall cover no more than 20 percent of the total ground-level setback area.
3)
Fences no greater than 4 feet in height are permitted in the required ground-level setback, and up to 2 feet of additional height for architectural features such as arbors or trellises on the top of a fence is permitted. Fence height may be averaged along sloping grades for each 4 foot long segment of the fence, but in no case may any portion of the fence exceed 6 feet in height.
c.
Where required setbacks may be averaged, measurement shall be pursuant to subsection 23.86.012.A and the following:
1)
Where a building is set back more than 30 feet from a lot line at ground level, 30 feet shall be used as the ground-level setback amount for averaging purposes.
2)
Where averaging is allowed for a required upper-level setback, the measurement shall be taken horizontally from points directly above the lot line to the facade of the structure at the height where the upper-level setback is required.
2.
Landscaping. Required ground-level setbacks shall be landscaped, and may include paving and lighting to enhance pedestrian safety and comfort. Sidewalks, plazas, and other amenities or landscaped areas approved by the Director are permitted in required ground-level setbacks.
3.
Limit on commercial uses. Commercial uses are prohibited within 80 feet of the street property line of Northeast 66th Street, except within 50 feet of the intersections of Northeast 66th Street with Brooklyn Avenue Northeast, 14th Avenue Northeast, 12th Avenue Northeast, and 15th Avenue Northeast, as shown on Map B for 23.47A.009.
4.
Housing units on the ground floor. All housing units with a facade that faces Northeast 66th Street with no intervening housing units or commercial uses between the housing unit and the Northeast 66th Street lot line, and located on the first floor of a building, shall have the primary pedestrian entrance to each housing unit directly accessible from the exterior of the structure rather than a primary pedestrian entry through a common entrance hallway.
5.
Underground parking. Parking shall be located below grade, except a portion of a below-grade garage may extend up to 4 feet above existing or finished grade, whichever is lower, provided that the parking that extends above grade is fully screened from direct street view by the street-facing facade of the structure or by landscaping.
E.
Lake City. The following provisions apply to development proposed on lots that are 40,000 square feet in size or greater and located in NC zones as shown on Map C for 23.47A.009.
Map C for 23.47A.009
Lots where Lake City area-specific development standards apply
1.
Maximum lot coverage
a.
The maximum lot coverage permitted for principal and accessory structures is 80 percent of the lot area.
b.
Lot coverage exceptions. The following structures or portions of structures are not counted in the lot coverage calculation:
1)
Portions of a structure that are below grade or that do not extend more than 4 feet above the finished grade.
2)
The first 18 inches of overhead horizontal building projections of an architectural or decorative character, such as cornices, eaves, sills, and gutters.
3)
Ramps or other devices that provide access for the disabled and elderly and that meet the standards of the Seattle Building Code.
4)
The first 4 feet of unenclosed porches or steps for residential units.
c.
In the portion of the lot that is not covered by structures, owners are encouraged to provide improvements at-grade that enhance the usability and livability of the lot for occupants and visitors, such as pedestrian circulation areas, landscaping, lighting, weather protection, art, or other similar improvements.
2.
Facade modulation
a.
Facade modulation requirements apply to all portions of a structure up to a height of 35 feet and located within 10 feet of a street lot line on streets designated by Map C for 23.47A.009.
b.
The maximum width of any unmodulated facade is 100 feet. Facades longer than 100 feet shall be modulated by stepping back the facade from the street lot line for a minimum depth of 10 feet and a minimum width of 15 feet.
c.
Facade modulation requirements do not apply to portions of a structure that are below grade or that do not extend more than 2 feet above the finished grade at the lot line.
3.
Maximum structure width
a.
On streets designated by Map C for 23.47A.009, the maximum allowed structure width is 250 feet.
b.
Structure width limits do not apply to portions of a structure that are below grade or that do not extend more than 2 feet above the finished grade at the lot line.
4.
Upper-level setbacks
a.
On streets designated by Map C for 23.47A.009, a setback with an average depth of 10 feet from abutting street lot lines is required for portions of a structure above a height of 35 feet. The maximum depth of a setback that can be used to calculate the average setback is 20 feet.
b.
A setback with an average depth of 15 feet from abutting street lot lines is required for portions of a structure above a height of 65 feet. The maximum depth of a setback that can be used to calculate the average setback is 25 feet.
5.
Structures permitted in required setbacks are subject to subsection 23.47A.014.G.
F.
Ballard Hub Urban Village. The following provisions apply to development proposed in NC zones within the Ballard Hub Urban Village.
1.
Maximum lot coverage on lots 40,000 square feet in size or greater:
a.
The maximum lot coverage permitted for principal and accessory structures is 80 percent of the lot area.
b.
Lot coverage exceptions. The following structures or portions of structures are not counted in the lot coverage calculation:
1)
Portions of a structure that are below grade or that do not extend more than 4 feet above the existing or finished grade, whichever is lower.
2)
The first 18 inches of overhead horizontal building projections of an architectural or decorative character, such as cornices, eaves, sills, and gutters.
3)
Ramps or other devices that provide access for the disabled and elderly and that meet the standards of the Seattle Building Code.
4)
The first 4 feet of unenclosed porches or steps for residential units.
c.
In the 20 percent of the lot that remains uncovered, as required by this subsection 23.47A.009.F.1, not more than ten parking spaces may be provided, and applicants are encouraged to provide elements at grade that enhance the usability and livability of the lot for residents and tenants such as pedestrian circulation areas, landscaping, lighting, weather protection, art, or other similar features.
2.
Facade modulation
a.
Facade modulation requirements apply to all portions of a street-facing facade of a structure up to a height of 45 feet located within 10 feet of a street lot line, according to provisions of subsection 23.47A.009.F.2.c.
b.
The maximum width of any unmodulated street-facing facade is 100 feet. Facades longer than 100 feet shall be modulated at no greater than 100-foot intervals by stepping back the facade from the street lot line for a minimum depth of 10 feet and a minimum width of 15 feet.
c.
Facade modulation requirements do not apply to portions of a structure that are below grade or that do not extend more than 2 feet above the existing or finished grade at the street lot line, whichever is lower.
3.
Maximum structure width
a.
The maximum allowed structure width is 250 feet.
b.
Structure width limits do not apply to portions of a structure that are below grade or that do not extend more than 2 feet above the existing or finished grade at the street lot line, whichever is lower.
4.
Setback requirements
a.
Street-level setbacks
1)
In the area shown on Map D for 23.47A.009, portions of a structure up to 10 feet above the abutting sidewalk grade facing 15th Avenue NW shall be set back from the street lot line by a minimum depth of 6 feet up to a maximum depth of 10 feet.
2)
The provisions of subsection 23.47A.009.F.2 do not apply to the area described in subsection 23.47A.009.F.4.a.1.
b.
Upper-level setbacks
1)
A setback with an average depth of 10 feet from all abutting street lot lines is required for portions of a structure above a height of 45 feet. The maximum depth of a setback that can be used for calculating the average setback is 20 feet.
2)
A setback with an average depth of 15 feet from all street lot lines is required for portions of a structure above a height of 65 feet. The maximum depth of a setback that can be used for calculating the average setback is 25 feet.
5.
Structures permitted in required setback and separation areas according to this subsection 23.47A.009.F are subject to subsection 23.47A.014.G.
6.
In the area shown on Map E for Section 23.47A.009:
a.
All dwelling units shall have sound-insulating windows sufficient to maintain interior sound levels at 60 decibels or below in consideration of existing environmental noise levels at the site. The applicant shall submit an analysis of existing noise levels and documentation of the sound insulating capabilities of windows shall be indicated on the plan.
b.
All dwelling units shall have a permanently installed air cooling system and a balanced ventilation system, which may be combined. The ventilation system shall filter any outdoor air supply through filters rated MERV 13 or higher as determined by the American Society of Heating, Refrigerating, and Air Conditioning Engineers (ASHRAE). The air cooling and ventilation systems shall be indicated on the plan.
Map D for 23.47A.009
Areas Where Street-level Setbacks are Required
Map E for 23.47A.009
Areas where noise-attenuating windows and air cooling and ventilation are required
G.
University Community Urban Center. The following provisions apply to specified NC zones within the portion of the University Community Urban Center west of 15th Avenue NE.
1.
Maximum width and depth limits. The following standards apply to NC zones with a mapped height limit exceeding 40 feet:
a.
The maximum width and depth of a structure is 250 feet, except as otherwise provided in this subsection 23.47A.009.G.1. The width and depth limits do not apply to below-grade or partially below-grade stories with street-facing facades that do not extend more than 4 feet above the sidewalk, measured at any point above the sidewalk elevation to the floor above the partially below-grade story, excluding access.
b.
For the stories of a structure subject to width and depth limits, all portions of the same story that are horizontally contiguous, including any portions connected by doorways, ramps, bridges, stairways, and other such features, shall be included in the measurement of width and depth. The width and depth limit of stories in separate structures or structures on the same lot that abut but are not internally connected shall be measured separately. Designated Landmark structures and vulnerable masonry structures included on a list promulgated by the Director that are retained on the lot are excluded from the width and depth measurement, whether or not internally or externally connected to a new structure.
c.
Width and depth limits do not apply to stories of a structure with more than 50 percent of the total gross floor area occupied by any of the following uses:
1)
Community clubs or community centers;
2)
Religious facilities;
3)
Arts facilities;
4)
Child care centers or elementary or secondary schools; or
5)
Performing arts theaters.
2.
Provisions for the transfer of development rights (TDR) and transfer of development potential (TDP)
a.
Lots located in NC3 and NC3P zones with height limits of 55 feet or greater are eligible as open space, vulnerable masonry structure, or Landmark TDR and TDP sending sites if the lot meets the definition of the applicable TDR or TDP sending site in Chapter 23.84A and meets all applicable standards in Section 23.58A.042.
b.
The maximum amount of TDR and TDP that can be transferred from an eligible sending site shall not exceed an amount of floor area equivalent to the numerical value of the FAR permitted on a lot that is solely occupied by residential uses or non-residential uses in the zone where the sending site is located, as shown on Table A for 23.47A.013, multiplied by the lot area of the sending site and minus the sum of any chargeable floor area on the lot plus any TDR and TDP previously transferred.
c.
Eligible receiving sites are limited to those lots in SM-U zones specified in subsection 23.48.623.C.
H.
23rd and Union. The following provisions apply to development proposed in NC zones within the area shown on Map F for 23.47A.009.
Map F for 23.47A.009
Standards applicable to specific areas: 23rd & Union
1.
Setback requirements. Setbacks are required along East Spring Street, East Pike Street, 22nd Avenue, and 24th Avenue as shown on Map E for 23.47A.009 as follows:
a.
A minimum street-level setback of 5 feet along the length of the street property line unless a larger setback is required by subsection 23.47A.008.D.2; and
b.
A minimum upper-level setback of 15 feet for all portions of a structure greater than 35 feet in height as measured from the average finished grade along the sidewalk; and
c.
Structures permitted in required setbacks are subject to subsection 23.47A.014.G.
2.
Street-level residential uses. Street-level residential uses are required along East Spring Street, East Pike Street, 22nd Avenue, and 24th Avenue as shown on Map E for 23.47A.009 except for the portions of East Pike Street and East Spring Street measured within 80 feet of the property line abutting 23rd Avenue and portion of 24 th Avenue measured within 120 feet of the property line abutting East Union Street.
I.
23rd and Jackson. The following provisions apply to development proposed in NC zones within the area shown on Map G for 23.47A.009.
Map G for 23.47A.009
Standards applicable to specific areas: 23rd & Jackson
1.
Setback requirements
a.
Along South Jackson Street facing property lines as shown on Map F for 23.47A.009, a minimum upper-level setback of 10 feet is required for all portions of a structure greater than 45 feet in height as measured from the average finished grade.
b.
Structures permitted in required setbacks are subject to subsection 23.47A.014.G.
2.
Maximum structure width. On streets designated by Map F for 23.47A.009, the maximum allowed structure width is 250 feet. Facade modulation or building separation can be considered as a break in the maximum structure width if:
a.
A portion of the street-facing facade projects or is recessed from abutting facade by a minimum depth of 15 feet and a minimum width of 15 feet; or
b.
A building separation is provided with a minimum width of 15 feet between structures.
3.
Pedestrian connection requirement. A proposal that includes development between South Main Street and South King Street and is located within 400 feet east of 23rd Avenue South shall provide a north-south pedestrian connection in area as shown on Map F for 23.47A.009, subject to the following requirements:
a.
If the pedestrian connection is located adjacent to the right-of-way, it should be incorporated into existing or planned sidewalks.
b.
The pedestrian connection shall have a minimum width of 15 feet, and include at least one of the following:
1)
Entries to retail stores or other buildings;
2)
Seating areas for pedestrians;
3)
Street furniture;
4)
Bicycle parking;
5)
Landscaping;
6)
Pedestrian scale lighting;
7)
Water features; or
8)
Overhead weather protection.
c.
The pedestrian connection shall include a minimum 6-foot paved walkway width and shall be designed to connect to existing or planned sidewalks and crosswalks.
d.
The connection may be located between structures, or may be located in a parking area if the paved walkway is separated from the parking area with special pavements or other treatments to protect pedestrians from vehicles.
J.
Georgetown. The following provisions apply to development proposed in NC zones within the area shown on Map H for 23.47A.009.
1.
Additional floor area for arts space, community club, or center. An additional increment of up to 1.0 FAR is permitted above the maximum FAR limit of the zone if a lot includes an arts facility operated by a for-profit or not-for-profit operator, or a community club or center, subject to the following conditions:
a.
The amount of the additional increment of FAR shall not exceed floor area of the arts facility.
b.
The minimum floor area provided for a qualifying arts facility, community club, or center is 2,000 square feet.
c.
The space shall be occupied by an arts facility, community club, or center for the life of the building on the lot. If the property owner is unable to secure a for-profit or not-for-profit organization to operate the arts facility, community club, or center, after a six-month period, if the space remains unoccupied, it may be used for other non-profit purposes such as a community and/or public area, under the following conditions:
1)
The space shall be made available to community and charitable organizations and is not to be used for profit-making activities;
2)
The space shall be made available for both day and evening use;
3)
The space shall be made available on a first-come, first-served basis to community and charitable organizations; and
4)
Availability of the space and contact person(s) shall be made known to community and charitable groups through means such as newspaper articles, radio announcements, and flyers.
d.
No permit after the first building permit, no permit for any construction activity other than excavation and shoring, and no permit for occupancy of existing floor area by any use shall be issued for development that includes an arts facility to gain the increase in FAR until the applicant has demonstrated to the satisfaction of the Director that a lease with a for-profit or not-for-profit arts organization has been secured to occupy the space for a minimum of one year.
2.
Additional floor area for historic preservation. An additional increment of up to 1.0 FAR is permitted above the maximum FAR limit if a lot includes one or more structures that have been designated as landmarks pursuant to Chapter 25.12, subject to the following conditions:
a.
The structure is rehabilitated so that all features and characteristics are subject to controls and incentives designated pursuant to Chapter 25.12 and comply with any certificates of approval issued by the Landmarks Preservation Board, all as determined by the Director of the Department of Neighborhoods;
b.
A notice is recorded in the King County real estate records, in a form satisfactory to the Director, regarding the additional increment of floor area allowed and the effect thereof under the terms of this Chapter 23.47A;
c.
If the increased amount of FAR allowed under this subsection 23.47A.009.J remains on the lot, the structure must remain designated as a Landmark; and
d.
The owner shall maintain the exterior and interior of the Landmark structure in good condition in a manner that preserves the Landmark features and characteristics of the structure.
3.
Additional height for arts space or historic preservation. The height limit is increased by 10 feet for any development that gains additional floor area for arts space pursuant to subsection 23.47A.009.J.1 or additional floor area for historic preservation pursuant to subsection 23.47A.009.J.2.
4.
All dwelling units shall have sound-insulating windows sufficient to maintain interior sound levels at 60 decibels or below in consideration of existing environmental noise levels at the site. The applicant shall submit an analysis of existing noise levels and documentation of the sound insulating capabilities of windows shall be indicated on the plan.
5.
All dwelling units shall have a permanently installed air cooling system and a balanced ventilation system, which may be combined. The ventilation system shall filter any outdoor air supply through filters rated MERV 13 or higher as determined by the American Society of Heating, Refrigerating, and Air Conditioning Engineers (ASHRAE). The air cooling and ventilation systems shall be indicated on the plan.
Map H for 23.47A.009
Standards Applicable to Specific Areas: Georgetown
K.
Judkins Park. The following provisions apply to development proposed in NC zones within the area shown on Map I for 23.47A.009.
1.
All dwelling units shall have sound-insulating windows sufficient to maintain interior sound levels at 60 decibels or below in consideration of existing environmental noise levels at the site. The applicant shall submit an analysis of existing noise levels and documentation of the sound insulating capabilities of windows shall be indicated on the plan.
2.
All dwelling units shall have a permanently installed air cooling system and a balanced ventilation system, which may be combined. The ventilation system shall filter any outdoor air supply through filters rated MERV 13 or higher as determined by the American Society of Heating, Refrigerating, and Air Conditioning Engineers (ASHRAE). The air cooling and ventilation systems shall be indicated on the plan.
Map I for 23.47A.009
Standards Applicable to Specific Areas: Judkins Park
L.
South Park. The following provisions apply to development proposed in NC zones within the areas shown on Map J for 23.47A.009.
1.
All dwelling units shall have sound-insulating windows sufficient to maintain interior sound levels at 60 decibels or below in consideration of existing environmental noise levels at the site. The applicant shall submit an analysis of existing noise levels and documentation of the sound insulating capabilities of windows shall be indicated on the plan.
2.
All dwelling units shall have a permanently installed air cooling system and a balanced ventilation system, which may be combined. The ventilation system shall filter any outdoor air supply through filters rated MERV 13 or higher as determined by the American Society of Heating, Refrigerating, and Air Conditioning Engineers (ASHRAE). The air cooling and ventilation systems shall be indicated on the plan.
Map J for 23.47A.009
Standards Applicable to Specific Areas: South Park
M.
Interbay. The following provisions apply to development proposed in C zones within the areas shown on Map K for 23.47A.009.
1.
All dwelling units shall have sound-insulating windows sufficient to maintain interior sound levels at 60 decibels or below in consideration of existing environmental noise levels at the site. The applicant shall submit an analysis of existing noise levels and documentation of the sound insulating capabilities of windows shall be indicated on the plan.
2.
All dwelling units shall have a permanently installed air cooling system and a balanced ventilation system, which may be combined. The ventilation system shall filter any outdoor air supply through filters rated MERV 13 or higher as determined by the American Society of Heating, Refrigerating, and Air Conditioning Engineers (ASHRAE). The air cooling and ventilation systems shall be indicated on the plan.
Map K for 23.47A.009
Standards Applicable to Specific Areas: Interbay
(Ord. 126862, § 7, 2023; Ord. 125791, § 51, 2019; Ord. 125603, § 27, 2018; Ord. 125361, § 2, 2017; Ord. 125360, § 2, 2017; Ord. 125272, § 27, 2017; Ord. 125267, § 12, 2017; Ord. 125125, § 2, 2016; Ord. 125103, § 3, 2016; Ord. 125081, § 3, 2016; Ord. 124952, § 14, 2015; Ord. 124919, § 136, 2015; Ord. 124378, § 41, 2013; Ord. 123816, § 4, 2012; Ord. 123790, § 2, 2011.)
A.
Except as provided in subsection D of this section, size limits, where specified in Table A of Section 23.47A.004, apply to the total size of a business establishment, except that if a business establishment includes more than one principal use, size limits apply separately to the size of each principal use within the business establishment as determined under this section.
B.
For the purposes of this Section 23.47A.010, size of use includes the gross floor area of a structure(s), or portion of a structure(s), occupied by a principal use and all uses accessory to that use, except that:
1.
In NC1 and NC2 zones, any area dedicated to outdoor display of goods or equipment for rent or for sale is also included;
2.
In all zones, any gross floor area used for accessory parking is exempted from the size calculation; and
3.
In all zones, any gross floor area used for stockrooms, storage, break rooms, loading, and administrative office accessory to a principal grocery store use is exempted from the size calculation, provided it does not exceed 8,500 square feet or 30 percent of the gross floor area, whichever is less.
C.
If a business establishment is located in more than one zone:
1.
If the business establishment includes only one principal use, then:
a.
the size of the portion of the business establishment that is located within each zone may not exceed the size limit for that principal use for that zone; and
b.
the total size of the business establishment may not exceed the largest limit for that principal use that applies in any of the zones where any part of the business establishment is located.
2.
If the business establishment includes more than one principal use, size limits apply to each principal use within the business establishment separately, as follows:
a.
the size of the portions of each principal use and its accessory uses that are in one zone may not exceed the size limit for that principal use for that zone; and
b.
the total size of each principal use and its accessory uses may not exceed the largest limit for that principal use that applies in any of the zones where any part of that use is located.
D.
In C1 and C2 zones, office uses are limited one (1) FAR, or thirty-five thousand (35,000) square feet, whichever is greater. For purposes of this subsection, size limits apply to the total amount of all office uses on a lot. Office uses are exempt from this limit if the following NC3 zone standards are met:
1.
Blank facades and setbacks, per Section 23.47A.008 A;
2.
Transparency, per Section 23.47A.008 B2;
3.
Outdoor storage areas, per Section 23.47A.011 D;
4.
Screening of blank facades and gas stations, per Section 23.47A.016 C and D2;
5.
Drive-in lanes, per Section 23.47A.028;
6.
Access to parking, per Section 23.47A.032 A; and
7.
Location of parking, per Section 23.47A.032 B.
E.
Expansion or replacement of Grocery Stores in NC1 Zones. Grocery stores in NC1 zones are limited to 10,000 square feet. As a special exception, existing grocery stores may be expanded or replaced on-site or on abutting lots up to a maximum size of twenty-three thousand (23,000) sq. ft. when all of the following conditions are met:
1.
The grocery store to be expanded or replaced is legally established as of, and has continued in operation since, August 1, 2005;
2.
The store is located in a zone of contiguous NC1 zoned land that is at least three (3) acres in size and the zone is at least 1,500 feet away from any NC2, NC3, C1 or C2 zone;
3.
The lot abuts an arterial street and the expansion or replacement of the store is not likely to result in significant increases in traffic on non-arterial streets;
4.
The expanded or replaced store will be part of a development with at least 30% (thirty percent) of the gross floor area of the structure, not including parking, in residential use; and
5.
Impacts to adjacent residential areas from loading activities are mitigated using screening, buffers, or other techniques; and
6.
The Director finds that the expansion or replacement is compatible with the character and scale of the area in which it is located.
(Ord. 127099, § 23, 2024; Ord. 123046, § 65, 2009; Ord. 122311, § 44, 2006.)
A.
Except as otherwise provided in this Section 23.47A.011, outdoor activities that are part of permitted commercial uses or permitted agricultural uses are permitted in NC zones or C zones, subject to any applicable standards.
B.
Outdoor sales area is limited as follows, except for agricultural uses:
C.
Outdoor display areas for rental equipment are limited as follows:
D.
Outdoor storage areas are limited as follows:
E.
The following outdoor activities on a lot zoned entirely or split-zoned commercial shall be located at least 50 feet from a lot zoned entirely residential, unless the elevation of the lot with the activity is at least 15 feet above the grade of the lot in the residential zone at the common lot line:
1.
Outdoor sales and/or service of food or beverages, except products of an agricultural use on the lot;
2.
Outdoor storage;
3.
Outdoor sports and recreation;
4.
Outdoor loading berths.
F.
Outdoor activities shall be screened and landscaped according to the provisions of Section 23.47A.016.
(Ord. 127099, § 24, 2024; Ord. 123378, § 17, 2010; Ord. 122311, § 44, 2006.)
A.
The height limit for structures in NC zones or C zones is as designated on the Official Land Use Map, Chapter 23.32. Structures may not exceed the applicable height limit, except as otherwise provided in this Section 23.47A.012.
1.
In zones with a 30-foot or 40-foot mapped height limit:
a.
The height of a structure may exceed the otherwise applicable limit by up to 4 feet, subject to subsection 23.47A.012.A.1.c, provided the following conditions are met:
1)
Either:
a)
A floor-to-floor height of 13 feet or more is provided for non-residential uses at street level; or
b)
A residential use is located on a street-level, street-facing facade, provided that the average height of the exterior facades of any portion of a story that is partially below-grade does not exceed 4 feet, measured from existing or finished grade, whichever is less, and the first floor of the structure at or above grade is at least 4 feet above sidewalk grade; and
2)
The additional height allowed for the structure will not allow an additional story beyond the number that could be built under the otherwise applicable height limit.
b.
The height of a structure may exceed the otherwise applicable limit by up to 7 feet, subject to subsection 23.47A.012.A.1.c, provided all of the following conditions are met:
1)
Residential and multi-purpose retail sales uses are located in the same structure;
2)
The total gross floor area of at least one multi-purpose retail sales use exceeds 12,000 square feet;
3)
A floor-to-floor height of 16 feet or more is provided for the multi-purpose retail sales use at street level;
4)
The additional height allowed for the structure will not allow an additional story beyond the number that could be built under the otherwise applicable height limit if a floor-to-floor height of 16 feet were not provided at street level; and
5)
The structure is not allowed additional height under subsection 23.47A.012.A.1.a.
c.
The Director shall reduce or deny the additional structure height allowed by this subsection 23.47A.012.A.1 if the additional height would significantly block views from neighboring residential structures of any of the following: Mount Rainier, the Olympic and Cascade Mountains, the downtown skyline, Green Lake, Puget Sound, Lake Washington, Lake Union, or the Ship Canal.
2.
Within the Station Area Overlay District within the University Community Urban Center, maximum structure height may be increased to 125 feet when all of the following are met:
a.
The lot is within two blocks of a planned or existing light rail station;
b.
The proposed use of the lot is functionally related to other office development, permitted prior to 1971, to have over 500,000 square feet of gross floor area to be occupied by a single entity;
c.
A transportation management plan for the life of the use includes incentives for light rail and other transit use by the employees of the office use;
d.
The development shall provide street-level amenities for pedestrians and shall be designed to promote pedestrian interest, safety, and comfort through features such as landscaping, lighting, and transparent facades, as determined by the Director; and
e.
This subsection 23.47A.012.A.2 can be used only once for each development that is functionally related.
3.
On a lot containing a peat settlement-prone environmentally critical area, the height of a structure may exceed the otherwise applicable height limit and the other height allowances provided by this Section 23.47A.012 by up to 3 feet. In addition, 3 more feet of height may be allowed for any wall of a structure on a sloped lot, provided that on the uphill sides of the structure, the maximum elevation of the structure height shall be no greater than the height allowed by the first sentence of this subsection 23.47A.012.A.3. The Director may apply the allowances in this subsection 23.47A.012.A.3 only if the following conditions are met:
a.
The Director finds that locating a story of parking underground is infeasible due to physical site conditions such as a high water table;
b.
The Director finds that the additional height allowed for the structure is necessary to accommodate parking located partially below grade that extends no more than 6 feet above existing or finished grade, whichever is lower, and no more than 3 feet above the highest existing or finished grade along the structure footprint, whichever is lower, as measured to the finished floor level above; and
c.
Other than the additional story of parking allowed according to this subsection 23.47A.012.A.3, the additional height shall not allow an additional story beyond the number of stories that could be built under the otherwise applicable height limit.
4.
In zones that are located within the Pike/Pine Conservation Overlay District with a mapped height limit of 75 feet, the provisions of Section 23.73.014 apply.
5.
In Commercial zones bounded by S. Dawson St. to the north, 5th Ave. S. to the east, S. Fidalgo St. to the south, and 3rd Ave. S. to the west, the height of a structure may exceed the otherwise applicable limit by up to 10 feet, provided all of the following conditions are met:
a.
The applicant makes a commitment that the proposed development will meet the green building standard and shall demonstrate compliance with that commitment in accordance with Chapter 23.58D;
b.
The development includes at least five stories solely occupied by residential uses;
c.
At least 20 percent of the street frontage at street-level of the development shall be street-level uses from the list in subsection 23.47A.005.D.1;
d.
A floor-to-floor height of 20 feet or more is provided for the non-residential uses at street level provided to comply with the provisions of subsection 23.47A.012.A.5.c; and
e.
All dwelling units in the development have sound-insulating windows and air cooling and ventilation systems meeting the requirement of subsection 23.47A.009.J.4 and 23.47A.009.J.5.
B.
The ridge of a pitched roof, other than a shed roof or butterfly roof, may extend up to 5 feet above the otherwise applicable height limit in zones with height limits of 30 or 40 feet, if all parts of the roof above the otherwise applicable height limit are pitched at a rate of not less than 4:12 (Exhibit A for 23.47A.012).
Exhibit A for 23.47A.012
Pitched roof height exception
C.
Rooftop features
1.
Smokestacks, chimneys, flagpoles, and religious symbols for religious institutions are exempt from height controls, except as regulated in Chapter 23.64, provided they are a minimum of 10 feet from any side or rear lot line.
2.
Open railings, planters, skylights, clerestories, greenhouses, solariums, parapets, and firewalls may extend as high as the highest ridge of a pitched roof permitted by subsection 23.47A.012.B or up to 4 feet above the otherwise applicable height limit, whichever is higher. Insulation material or soil for landscaping located above the structural roof surface may exceed the maximum height limit by up to 2 feet if enclosed by parapets or walls that comply with this subsection 23.47A.012.C.2. Rooftop decks and other similar features may exceed the maximum height limit by up to two feet, and open railings or parapets required by the Building Code around the perimeter of rooftop decks or other similar features may exceed the maximum height limit by the minimum necessary to meet Building Code requirements.
3.
Solar collectors
a.
In zones with mapped height limits of 30 to 55 feet, solar collectors may extend up to 4 feet above the otherwise applicable height limit, with unlimited rooftop coverage.
b.
In zones with height limits of greater than 40 feet, solar collectors may extend up to 7 feet above the otherwise applicable height limit, with unlimited rooftop coverage.
4.
Except as provided below, the following rooftop features may extend up to 15 feet above the applicable height limit if the combined total coverage of all features gaining additional height listed in this subsection 23.47A.012.C.4 does not exceed 30 percent of the roof area, or the combined total coverage does not exceed 35 percent of the roof area if the total includes stair or elevator penthouses or screened or enclosed mechanical equipment, or does not exceed 60 percent coverage of the roof area if the total includes a greenhouse:
a.
Solar collectors that exceed heights allowed by subsection 23.47A.012.C.3;
b.
Mechanical equipment;
c.
Play equipment and open-mesh fencing that encloses it, as long as the fencing is at least 10 feet from the roof edge;
d.
Chimneys;
e.
Sun and wind screens, and similar weather protection features such as eaves or canopies extending from rooftop features;
f.
Covered or enclosed common recreation areas;
g.
Greenhouses and solariums;
h.
Wind-driven power generators;
i.
Minor communication utilities and accessory communication devices, except that height is regulated according to the provisions of Section 23.57.012; and
j.
Stair and elevator penthouses, which may extend above the applicable height limit by up to 16 feet.
5.
At the applicant's option, for buildings exceeding 120 feet, the combined total rooftop coverage limit of all features listed in subsections 23.47A.012.C.4 is 75 percent, provided that all of the following are satisfied:
a.
All mechanical equipment is screened or enclosed; and
b.
No rooftop features are located closer than 10 feet to the roof edge, except features that do not exceed the height of the parapet or 5 feet above the roof surface, whichever is greater, or which may be permitted by design review departure or other code provisions including but not limited to Chapter 23.57.
6.
The rooftop features listed in this subsection 23.47A.012.C.6 shall be located at least 10 feet from the north lot line unless a shadow diagram is provided that demonstrates that locating such features within 10 feet of the north lot line would not shade property to the north on January 21 at noon more than would a structure built to maximum permitted height and FAR:
a.
Solar collectors;
b.
Planters;
c.
Clerestories;
d.
Greenhouses and solariums;
e.
Minor communication utilities and accessory communication devices, permitted pursuant to the provisions of Section 23.57.012;
f.
Sun and wind screens, and similar weather protection features such as eaves or canopies extending from rooftop features;
g.
Covered or enclosed common recreation areas;
h.
Non-firewall parapets; and
i.
Play equipment.
7.
Structures existing prior to May 10, 1986, may add new or replace existing mechanical equipment up to 15 feet above the roof elevation of the structure and shall comply with the noise standards of Section 23.47A.018.
8.
For height limits and exceptions for communication utilities and accessory communication devices, see Section 23.57.012.
D.
Solar retrofits. The Director may permit the retrofitting of solar collectors on conforming or nonconforming structures existing on June 9, 1986, as a special exception pursuant to Chapter 23.76, Procedures for Master Use Permits and Council Land Use Decisions. Such a retrofit may be permitted to exceed established height limits, if the following conditions are met:
1.
There is no feasible alternative solution to placing the collector(s) on the roof;
2.
The positioning of such collector(s) minimizes view blockage and shading of property to the north, while still providing adequate solar access for the collectors; and
3.
Such collector(s) meet minimum energy standards administered by the Director.
E.
Height exceptions for public schools
1.
For new public school construction on new public school sites, the maximum permitted height shall be the maximum height permitted in the zone.
2.
For new public school construction on existing public school sites, the maximum permitted height shall be the maximum height permitted in the zone or 35 feet plus 15 feet for a pitched roof complying with subsection 23.47A.012.E.5, whichever is greater.
3.
For additions to existing public schools on existing public school sites, the maximum height permitted shall be the maximum height permitted in the zone, the height of the existing school, or 35 feet plus 15 feet for a pitched roof complying with subsection 23.47A.012.E.5, whichever is greater.
4.
Development standard departure for structure height may be granted pursuant to the procedures and criteria set forth in Chapter 23.79. For construction of new structures on new and existing public school sites to the extent not otherwise permitted outright, maximum height that may be granted as a development standard departure in zones with height limits of 30 or 40 feet shall be 35 feet plus 15 feet for a pitched roof complying with subsection 23.47A.012.E.5 for elementary schools and 60 feet plus 15 feet for a pitched roof complying with subsection 23.47A.012.E.5 for secondary schools. All height maximums may be waived by the Director when waiver would contribute to the demolition of fewer residential structures.
5.
To qualify for additional height for a pitched roof under this subsection 23.47A.012.E, all parts of the roof above the height otherwise allowed must be pitched at a rate of not less than 3:12 and the roof must not be a shed roof or butterfly roof.
F.
Additional height in NC3-200 and NC3P-200 zoned areas in the First Hill/Capitol Hill Urban Center32
In the NC3-200 and NC3P-200 zones in the First Hill/Capitol Hill Urban Center, additional height above the otherwise applicable height limit of 200 feet may be permitted to accommodate floor area achieved through the provisions of subsection 23.47A.013.F and Section 23.58A.042 if the development meets the following requirements:
1.
The development does not exceed 350 feet in height, except that rooftop features may exceed 350 feet in height if they comply with subsection 23.47A.012.C.
2.
Only extra floor area achieved through subsection 23.47A.013.F may be located above 200 feet.
(Ord. 127025, § 1, 2024; Ord. 126685, § 26, 2022; Ord. 126600, § 5, 2022; Ord. 126548, § 1, 2022; Ord. 126157, § 24, 2020; Ord. 125791, § 52, 2019; Ord. 125272, § 28, 2017; Ord. 125267, § 13, 2017; Ord. 125173, § 4, 2016; Ord. 124883, § 11, 2015; Ord. 124843, § 30, 2015; Ord. 123776, § 4, 2011; Ord. 123649, § 20, 2011; Ord. 123564, § 7, 2011; Ord. 123378, § 18, 2010; Ord. 123020, § 10, 2009; Ord. 122935, § 6, 2009; Ord. 122738, § 2, 2008; Ord. 122311, § 44, 2006.)
A.
Floor area ratio (FAR) limits. Except as provided in subsections 23.47A.013.C and 23.47A.013.D, FAR limits apply in C zones and NC zones as shown in Table A for 23.47A.013 and Table B for 23.47A.013. The applicable FAR limit applies to the total chargeable floor area of all structures on the lot.
B.
The following gross floor area is not counted toward FAR:
1.
All stories, or portions of stories, that are underground;
2.
All portions of a story that extend no more than 4 feet above existing or finished grade, whichever is lower, excluding access;
3.
Gross floor area of a transit station, including all floor area open to the general public during normal hours of station operation but excluding retail or service establishments to which public access is limited to customers or clients, even where such establishments are primarily intended to serve transit riders;
4.
On a lot containing a peat settlement-prone environmentally critical area, above-grade parking within or covered by a structure or portion of a structure, if the Director finds that locating a story of parking below grade is infeasible due to physical site conditions such as a high water table, if either:
a.
The above-grade parking extends no more than 6 feet above existing or finished grade and no more than 3 feet above the highest existing or finished grade along the structure footprint, whichever is lower, as measured to the finished floor level or roof above, pursuant to subsection 23.47A.012.A.3; or
b.
All of the following conditions are met:
1)
No above-grade parking is exempted by subsection 23.47A.013.B.4.a;
2)
The parking is accessory to a residential use on the lot;
3)
Total parking on the lot does not exceed one space for each residential dwelling unit plus the number of spaces required for non-residential uses; and
4)
The amount of gross floor area exempted by this subsection 23.47A.013.B.4.b does not exceed 25 percent of the area of the lot in zones with a height limit less than 65 feet, or 50 percent of the area of the lot in zones with a height limit 65 feet or greater; and
5.
Rooftop greenhouse areas meeting the standards of subsections 23.47A.012.C.4, 23.47A.012.C.5, and 23.47A.012.C.6;
6.
Bicycle commuter shower facilities required by subsection 23.54.015.K.8;
7.
The floor area of required bicycle parking for small efficiency dwelling units or congregate residence sleeping rooms, if the bicycle parking is located within the structure containing the small efficiency dwelling units or congregate residence sleeping rooms. Floor area of bicycle parking that is provided beyond the required bicycle parking is not exempt from FAR limits;
8.
All gross floor area in child care centers; and
9.
In low-income housing, all gross floor area for accessory human service uses.
C.
Within the Station Area Overlay District within the University Community Urban Center, for office structures permitted prior to 1971, the area of the lot for purposes of calculating permitted FAR is the tax parcel created prior to the adoption of Ordinance 121846 on which the existing structure is located, provided the office structure is to be part of a functionally related development occupied by a single entity with over 500,000 square feet of area in office use. The floor area of above grade pedestrian access is exempt from the FAR calculations of this subsection 23.47A.013.C, and the maximum permitted FAR is 8.
D.
Within the portion of the Greenwood Residential Urban Village, on lots zoned NC2 55 that are located abutting NW 85th Street between 1st Avenue NW and 3rd Avenue NW, the total permitted FAR within a mixed-use structure containing residential and non-residential uses is 4.
E.
Minimum FAR
1.
A minimum FAR shown in Table C for 23.47A.013 is required whenever more than 1,000 square feet of gross floor area is added to or removed from a lot located in:
a.
A pedestrian-designated zone in an urban center, urban village, or Station Area Overlay District; or
b.
The Northgate Overlay District and abutting a Major Pedestrian Street as shown on Map A for 23.71.004.
2.
The minimum FAR requirement provided in subsection 23.47A.013.E.1 does not apply if:
a.
Additional floor area is added to an existing structure on a lot that is nonconforming with respect to the minimum FAR shown in Table C for 23.47A.013;
b.
The lot is larger than five acres;
c.
All existing gross floor area is demolished to create a vacant lot;
d.
Parks and open space is the principal use of the lot; or
e.
The lot is to be occupied by a nonprofit medical service use that provides a specialized service, such as kidney dialysis, that is not currently provided in the applicable urban village.
3.
Portions of the lot designated as a steep slope, wetland, or riparian corridor or as a buffer to one of these areas, as defined in Chapter 25.09, shall not be included when calculating lot size for the purpose of determining the minimum FAR requirement provided in subsection 23.47A.013.E.1.
4.
The Director, in consultation with the Director of the Department of Neighborhoods, may waive the minimum FAR requirement provided in subsection 23.47A.013.E.1 for lots that contain a designated Landmark, or for lots within a Landmark District pursuant to Title 25 or within a Special Review District pursuant to Chapter 23.66, if the Director determines a waiver is necessary to preserve the integrity of a Landmark or meet adopted District design and development guidelines.
5.
The Director may waive the minimum FAR requirement provided in subsection 23.47A.013.E.1 for lots within the Pike/Pine Conservation Overlay District pursuant to Chapter 23.32, if the Director determines that the proposed development promotes neighborhood conservation objectives.
6.
The following gross floor area is not counted toward the minimum FAR requirement provided in subsection 23.47A.013.E.1:
a.
All stories, or portions of stories, that are underground; and
b.
Gross floor area containing parking.
F.
Extra floor area in NC3-200 and NC3P-200 zoned areas in the First Hill/Capitol Hill Urban Center
In the NC3-200 and NC3P-200 zones in the First Hill/Capitol Hill Urban Center, extra floor area above the otherwise applicable FAR limit of 8.25 for nonresidential structures or 12 for structures with at least 4 FAR in residential use may be achieved pursuant to the provisions of this subsection 23.47A.013.F and Section 23.58A.042 if the development meets the following conditions:
1.
Extra floor area must be gained through the transfer of TDP/TDR pursuant to the provisions of Section 23.58A.042. For purposes of calculating the amount of TDP/TDR that may be transferred, the otherwise applicable FAR limits in subsection 23.47.013.A shall be the base FAR.
2.
The sending site must be located in a NC3-200 or NC3P-200 zoned area in the First Hill/Capitol Hill Urban Center and the lot receiving the transfer of floor area must be on the same block as the sending site.
3.
The amount of extra floor gained from this subsection 23.47A.013.F by any one development may not exceed 110,526 square feet.
4.
For purposes of this subsection 23.47A.013.F, the transfer of development rights to gain extra non-residential floor area is TDR and the transfer of development potential to gain extra residential floor area is TDP.
5.
The only types of TDP and TDR that may be transferred pursuant to this subsection 23.47A.013.F are Landmark TDP and TDR.
(Ord. 126855, § 18, 2023; Ord. 126600, § 6, 2022; Ord. 126548, § 2, 2022; Ord. 126287, § 6, 2021; Ord. 126157, § 25, 2020; Ord. 126131, § 7, 2020; Ord. 125791, § 53, 2019; Ord. 125603, § 28, 2018; Ord. 125558, § 16, 2018; Ord. 125267, § 14, 2017; Ord. 125173, § 5, 2016; Ord. 124843, § 31, 2015; Ord. 124770, § 6, 2015; Ord. 124566, § 1, 2014; Ord. 124378, § 42, 2013; Ord. 124270, § 2, 2013; Ord. 124150, § 2, 2013; Ord. 123790, § 3, 2011; Ord. 123770, § 7, 2011; Ord. 123564, § 8, 2011; Ord. 123046, § 65, 2009; Ord. 122935, § 7, 2009; Ord. 122738, § 3, 2008; Ord. 122311, § 44, 2006.)
A.
Rooftop features are not allowed in setbacks, except that for upper-level setbacks:
1.
Open railings may extend up to 4 feet above the height at which the setback begins.
2.
Parapets may extend up to 2 feet above the height at which the setback begins.
B.
Setback requirements for lots abutting or across the alley from residential zones
1.
A setback is required where a lot abuts the intersection of a side lot line and front lot line of a lot in a residential zone or a lot that is zoned both commercial and residential if the commercial zoned portion of the abutting lot is less than 50 percent of the width or depth of the lot. The required setback forms a triangular area. Two sides of the triangle extend along the street lot line and side lot line 15 feet from the intersection of the residentially zoned lot's front lot line and the side lot line abutting the residentially zoned lot. The third side connects these two sides with a diagonal line across the commercially zoned lot (Exhibit A for 23.47A.014).
Exhibit A for 23.47A.014
Setback abutting a side lot line of a residentially zoned lot
2.
An upper-level setback is required along the portion of any rear or side lot line that abuts a lot or portion of a lot in an LR, MR, or HR zone or that abuts a portion of a lot that is zoned commercial. If the abutting lot is zoned both commercial and LR, MR, or HR and the commercial zoned portion of the abutting lot is less than 50 percent of the width or depth of the lot, the upper-level setback is measured perpendicular to the abutting lot line, as follows:
a.
Ten feet for portions of structures above 13 feet in height to a maximum of 65 feet; and
b.
For each portion of a structure above 65 feet in height, additional setback at the rate of 1 foot of setback for every 10 feet by which the height of such portion exceeds 65 feet, up to a maximum setback of 20 feet (Exhibit B for 23.47A.014).
Exhibit B for 23.47A.014
Setback abutting a side or rear lot line of a lot zoned LR, MR, or HR
3.
An upper-level setback is required along any rear or side lot line that abuts a lot in a neighborhood residential zone, that is across an alley from a lot in a neighborhood residential zone, or that abuts a lot that is zoned both commercial and neighborhood residential if the commercial zoned portion of the abutting lot is less than 50 percent of the width or depth of the lot as follows:
a.
Fifteen feet for portions of structures above 13 feet in height to a maximum of 40 feet; and
b.
For each portion of a structure above 40 feet in height, additional setback at the rate of 3 feet of setback for every 10 feet by which the height of such portion exceeds 40 feet (Exhibit C for 23.47A.014).
Exhibit C for 23.47A.014
Setback abutting or across an alley from a lot zoned single-family
4.
One-half of the width of an abutting alley may be counted as part of the required setback. For the purpose of this Section 23.47A.014, the alley width and the location of the rear lot line shall be determined prior to any dedication that may be required for alley improvement purposes.
5.
No entrance, window, or other opening is permitted closer than 5 feet to an abutting residentially-zoned lot.
C.
Upper-level setbacks for street-facing facades. For zones with a height limit of 75 feet, 85 feet, or 95 feet, the street-facing facade shall be set back as follows:
1.
For zones with a height limit of 75 feet, portions of structures above 65 feet must be set back from the front lot line by an average depth of 8 feet.
2.
For zones with a height limit of 85 feet or 95 feet, portions of structures above 75 feet must be set back from the front lot line by an average depth of 8 feet.
3.
Where a portion of the facade is set back more than 15 feet, the setback depth for that portion of the facade shall be considered 15 feet for purposes of calculating the average setback. No more than 20 percent of the portion of the structure that must be set back may have a setback of less than 5 feet.
D.
Facade modulation. For structures with a width of more than 250 feet, at least one portion of the structure 30 feet or greater in width must be set back a minimum of 15 feet from the front property line. For structures with a width of more than 500 feet, at least two portions of the structure 30 feet or greater in width and separated by at least 100 feet must be set back a minimum of 15 feet from the front property line.
E.
A minimum 5-foot landscaped setback may be required under certain conditions and for certain uses according to Section 23.47A.016, Screening and landscaping standards.
F.
Mobile home parks. A minimum 5-foot setback is required along all street lot lines of a mobile home park. The setback must be landscaped according to the provisions of subsection 23.47A.016.D.2.
G.
Structures and projections in required setbacks
1.
Decks and balconies
a.
Decks with open railings may extend into the required setback, but are not permitted within 5 feet of a lot in a residential zone, except as provided in subsection 23.47A.014.G.1.b.
b.
Decks that are accessory to residential uses and are no more than 18 inches above existing or finished grade, whichever is lower, are permitted within 5 feet of a lot in a residential zone.
2.
Eaves, cornices, and gutters projecting no more than 18 inches from the structure facade are permitted in required setbacks.
3.
Ramps or other devices necessary for access for the disabled and elderly, which meet Seattle Building Code, Chapter 11, are permitted in required setbacks.
4.
Uncovered, unenclosed pedestrian bridges, necessary for access and less than 5 feet in width, are permitted in required setbacks.
5.
Fences, bulkheads, freestanding walls, and other similar structures
a.
Fences, freestanding walls, and other similar structures 6 feet or less in height above existing or finished grade, whichever is lower, are permitted in required setbacks. The 6-foot height may be averaged along sloping grade for each 6-foot-long segment of the fence, but in no case may any portion of the fence exceed 8 feet.
b.
Bulkheads and retaining walls used to raise grade may be placed in any required setback when limited to 6 feet in height, measured above existing grade. A guardrail no higher than 42 inches may be placed on top of a bulkhead or retaining wall existing as of September 30, 1994. If a fence is placed on top of a new bulkhead or retaining wall, the maximum combined height is limited to 9.5 feet.
c.
Bulkheads and retaining walls used to protect a cut into existing grade may not exceed the minimum height necessary to support the cut or 6 feet, whichever is greater. When the bulkhead is measured from the low side and it exceeds 6 feet, an open guardrail of no more than 42 inches meeting Building Code requirements may be placed on top of the bulkhead or retaining wall. A fence must be set back a minimum of 3 feet from such a bulkhead or retaining wall.
6.
Setback requirements do not limit underground structures.
7.
Detached solar collectors are permitted in required setbacks. Such collectors may be no closer than 5 feet to any other principal or accessory structure, and no closer than 3 feet to any lot line that abuts a residentially zoned lot.
8.
Dumpsters and other trash receptacles, except for trash compactors, located outside of structures are not permitted within 10 feet of any lot line that abuts a residential zone and must be screened per the provisions of Section 23.47A.016.
9.
Green stormwater infrastructure (GSI) features are allowed without setback restrictions if:
a.
Each above-grade GSI feature is less than 4.5 feet tall, excluding piping;
b.
Each above-grade GSI feature is less than 4 feet wide; and
c.
The total storage capacity of all above-grade GSI features is no greater than 600 gallons.
10.
Above-grade GSI features larger than what is allowed in subsection 23.47A.014.G.9 are allowed within a required setback if:
a.
Above-grade GSI features do not exceed ten percent coverage of any one setback area;
b.
No portion of an above-grade GSI feature is located closer than 2.5 feet from a side lot line;
c.
No portion of an above-grade GSI feature projects more than 5 feet into a front or rear setback area; and
d.
Above-grade GSI features meet all applicable Building Code and Plumbing Code requirements.
H.
Setback requirement for loading adjacent to an alley. Where access to a loading berth is from the alley, and truck loading is parallel to the alley, a setback of 12 feet is required for the loading berth, measured from the centerline of the alley (Exhibit D for 23.47A.014). This setback must be maintained up to a height of 12 feet.
Exhibit D for 23.47A.014
Structure setback for truck loading
I.
A setback may be required in order to meet the provisions of Section 23.53.015, Improvement requirements for existing streets in residential and commercial zones, and Section 23.53.030, Alley improvements in all zones.
(Ord. 126685, § 27, 2022; Ord. 126509, § 66, 2022 [zone name change]; Ord. 125791, § 54, 2019; Ord. 125603, § 29, 2018; Ord. 125081, § 4, 2016; Ord. 124952, § 15, 2015; Ord. 124843, § 32, 2015; Ord. 124378, § 43, 2013; Ord. 123649, § 21, 2011; Ord. 122935, § 8, 2009; Ord. 122311, § 44, 2006.)
A.
On lots that are partially within the Shoreline District, a view corridor shall be required for the entire lot if the portion of the lot in the Shoreline District is required to provide a view corridor under the Seattle Shoreline Master Program.
B.
Measurement and modification of the view corridor requirement must be according to the Shoreline District measurement regulations.
(Ord. 122311, § 44, 2006.)
A.
Landscaping requirements
1.
The Director shall promulgate rules to foster the long-term health, viability, and coverage of plantings. The rules shall address, at a minimum, the type and size of plants, spacing of plants, use of drought-tolerant plants, and access to light and air for plants. All landscaping provided to meet the requirements of this Section 23.47A.016 shall comply with these rules.
2.
Landscaping that achieves a Green Factor score of 0.3 or greater, pursuant to Section 23.86.019, is required for any lot with:
a.
development containing more than four new dwelling units or a congregate residence; or
b.
development, either a new structure or an addition to an existing structure, containing more than 4,000 new square feet of non-residential uses; or
c.
any parking lot containing more than 20 new parking spaces for automobiles.
B.
Street tree requirements
1.
Street trees are required when any development is proposed, except as provided in subsection 23.47A.016.B.2 and Section 23.53.015. Existing street trees shall be retained unless the Director of Transportation approves their removal. The Director, in consultation with the Director of Transportation, will determine the number, type, and placement of street trees to be provided to:
a.
Improve public safety;
b.
Promote compatibility with existing street trees;
c.
Match trees to the available space in the planting strip;
d.
Maintain and expand the urban forest canopy;
e.
Encourage healthy growth through appropriate spacing;
f.
Protect utilities; and
g.
Allow access to the street, buildings, and lot.
2.
Exceptions to street tree requirements
a.
If a lot borders an unopened right-of-way, the Director may reduce or waive the street tree requirement along that street if, after consultation with the Director of Transportation, the Director determines that the street is unlikely to be opened or improved.
b.
Street trees are not required for any of the following:
1)
Modifying principal single-family dwelling units, except as provided in subsection 23.47A.016.B.3; or
2)
Changing a use, or establishing a temporary use or intermittent use; or
3)
Expanding a structure by 1,000 square feet or less; or
4)
Expanding surface area parking by less than ten percent in area and less than ten percent in number of spaces.
3.
When an existing structure is proposed to be expanded by more than 1,000 square feet, one street tree is required for each 500 square feet over the first 1,000 square feet of additional structure, up to the maximum number of trees that would be required for new construction.
4.
If it is not feasible to plant street trees in a right-of-way planting strip, a 5-foot setback shall be planted with street trees along the street property line or landscaping other than trees shall be provided in the planting strip, subject to approval by the Director of Transportation. If, according to the Director of Transportation, a 5-foot setback or landscaped planting strip is not feasible, the Director of the Seattle Department of Construction and Inspections may reduce or waive this requirement.
C.
General standards for screening and landscaping where required for specific uses
1.
Screening shall consist of fences, walls, or landscaped areas, including bioretention facilities or landscaped berms. Any type of screening shall be at least as tall as the height specified in subsection 23.47A.016.D.
2.
Landscaped areas required under subsection 23.47A.016.D must meet rules promulgated by the Director pursuant to subsection 23.47A.016.A.1. Decorative features such as decorative pavers, sculptures or fountains, or pedestrian access meeting the Seattle Building Code, Chapter 11, may cover a maximum of 30 percent of each landscaped area used to satisfy requirements under subsection 23.47A.016.D.
D.
Screening and landscaping requirements for specific uses. When there is more than one use that requires screening or landscaping, the requirement that results in the greater amount applies.
1.
Surface parking areas
a.
Landscaping requirements for surface parking areas are established in Table A for 23.47A.016.
1)
Each landscaped area shall be no smaller than 100 square feet and must be protected by permanent curbs or structural barriers.
2)
No part of a landscaped area shall be less than 4 feet in width or length except those parts of landscaped areas created by turning radii or angles of parking spaces.
3)
No parking space shall be more than 60 feet from a required landscaped area.
b.
The landscaped area may include bioretention facilities.
c.
Trees in surface parking areas
1)
One tree is required for every ten parking spaces.
2)
Trees shall be selected in consultation with the Director of Transportation.
d.
Screening of surface parking areas
1)
Three-foot-high screening is required along street lot lines.
2)
Surface screening is required for parking abutting or across an alley from a lot in a residential zone or abutting a lot that is zoned both commercial and residential if the commercial zoned portion of the abutting lot is less than 50 percent of the width or depth of the lot. Such parking shall have 6-foot-high screening along the abutting lot line and a 5-foot-deep landscaped area inside the screening (see Exhibit A for 23.47A.016).
Exhibit A for 23.47A.016
e.
The Director may waive or reduce the requirements of this subsection 23.47A.016.D.1:
1)
to improve safety;
2)
to provide adequate maneuvering room for service vehicles;
3)
when it would not otherwise be feasible to provide the required number of spaces; or
4)
when required parking can only be provided at the rear lot line and access to individual parking spaces can only be provided directly from the alley.
f.
In deciding whether and to what extent to waive or reduce the landscaping and screening requirements, the Director shall consider whether:
1)
the lot width and depth permit alternative workable site plans that would allow screening and landscaping;
2)
the character of uses across the alley, such as a parking garage accessory to a multifamily structure, makes the screening and landscaping less necessary;
3)
the lot is in a location where access to parking from the street is not permitted; and
4)
a topographic break between the alley and the residential zone makes screening less necessary.
2.
Fences or free-standing walls associated with utility services uses may obstruct or allow views to the interior of a site. Where site dimensions and site conditions allow, applicants are encouraged to provide both a landscaped setback between the fence or wall and the right-of-way, and a fence or wall that provides visual interest facing the street lot line, through the height, design or construction of the fence or wall, including the use of materials, architectural detailing, artwork, vegetated trellises, decorative fencing, or similar features. Any fence or free-standing wall for a utility services use must provide either:
a)
A 5-foot-deep landscaped area between the wall or fence and the street lot line; or
b)
Architectural detailing, artwork, vegetated trellises, decorative fencing, or similar features to provide visual interest facing the street lot line, as approved by the Director.
3.
Other uses or circumstances. Screening and landscaping is required according to Table B for 23.47A.016:
Exhibit B for 23.47A.016 Screening of parking within or under a structure
Exhibit C for 23.47A.016 Screening of open storage areas in C1 zones
Exhibit D for 23.47A.016 - Screening of open storage areas in C2 zones
4.
On lots within the Shoreline District where view corridors are required, the Director may reduce the required height of screening and may modify the location and type of required landscaping so that views are not obstructed.
5.
When one of the specific uses listed in this subsection 23.47A.016.D is proposed for expansion, the applicable requirements for that use shall be met. The Director may reduce or waive the requirements where they are physically infeasible due to the location of existing structures or required parking.
E.
Breaks in required screening are permitted to provide pedestrian and vehicular access. Breaks in required screening for vehicular access shall not exceed the width of permitted curb cuts.
(Ord. 126821, § 3, 2023; Ord. 125603, § 30, 2018 [table lettering correction and style update]; Ord. 125272, § 29, 2017; Ord. 124952, § 16, 2015; Ord. 124919, § 137, 2015 [department name change and style update]; Ord. 124843, § 33, 2015 [corrected subsection numbering and amended one "must" to "shall"]; Ord. 124608, § 9, 2014; Ord. 123649, § 22, 2011; Ord. 123547, § 4, 2011; Ord. 123046, § 65, 2009 [amended "chart" to "table"]; Ord. 122935, § 9, 2009; Ord. 122311, § 44, 2006.)
C and NC zones with a mandatory housing affordability suffix are subject to the provisions of Chapters 23.58B and 23.58C.
(Ord. 125791, § 55, 2019; Ord. 125432, § 5, 2017; Ord. 125267, § 15, 2017.)
A.
In an NC1, NC2 or NC3 zone, all manufacturing, fabricating, repairing, refuse compacting and recycling activities shall be conducted wholly within an enclosed structure. In a C1 or C2 zone, location within an enclosed structure is required only when the structure is located within 50 feet of a residential zone, except when required as a condition for permitting a major noise generator according to subsection 23.47A.018.B. Doors on such a structure that are further than 50 feet from the residential zone and that face away from the residential zone may remain open.
B.
Major Noise Generators.
1.
The following uses are considered major noise generators:
a.
Light and general manufacturing;
b.
Major vessel repair;
c.
Aircraft repair shops;
d.
Major vehicle repair;
e.
Cargo terminals;
f.
Recycling;
g.
Other similar uses.
2.
Exterior heat exchangers and other similar devices (e.g., ventilation, air-conditioning, refrigeration) are considered major noise generators.
3.
When a major noise generator is proposed, or when an existing major noise generator is proposed to be expanded, a report from an acoustical consultant shall be required to describe the measures to be taken by the applicant in order to meet noise standards for the area. Such measures may include, for example, the provision of buffers, reduction in hours of operation, relocation of mechanical equipment, increased setbacks and use of specified construction techniques or building materials. Measures to be used shall be specified on the plans. After a permit has been issued, any measures that were required by the permit to limit noise shall be maintained.
(Ord. 123046, § 32, 2009; Ord. 122311, § 44, 2006.)
A.
The venting of odors, vapors, smoke, cinders, dust, gas, and fumes shall be at least 10 feet above finished sidewalk grade, and directed away to the extent possible from uses within 50 feet of the vent.
B.
Major odor sources
1.
Uses that employ the following odor-emitting processes or activities are major odor sources:
a.
Lithographic, rotogravure, or flexographic printing;
b.
Film burning;
c.
Fiberglassing;
d.
Selling of gasoline and/or storage of gasoline in tanks larger than 260 gallons;
e.
Handling of heated tars and asphalts;
f.
Incinerating (commercial);
g.
Tire buffing;
h.
Metal plating;
i.
Vapor degreasing;
j.
Wire reclamation;
k.
Use of boilers (greater than 106 British thermal units per hour, 10,000 pounds steam per hour, or 30 boiler horsepower);
l.
Animal food processing;
m.
The production or processing of cannabis products by a major cannabis activity; and
n.
Other similar processes or activities.
2.
Uses that employ the following processes are considered major odor sources, except when the entire activity is conducted as part of a commercial use other than food processing or heavy commercial services:
a.
Cooking of grains;
b.
Smoking of food or food products;
c.
Fish or fishmeal processing;
d.
Coffee or nut roasting;
e.
Deep fat frying;
f.
Dry cleaning.
C.
When an application is made for a use that is a major odor source, the Director, in consultation with the Puget Sound Clean Air Agency (PSCAA), will determine the appropriate measures to be taken by the applicant in order to significantly reduce potential odor emissions and airborne pollutants. The measures to be taken must be indicated on plans submitted to the Director and may be required as conditions for the issuance of any permit. After a permit has been issued, any measures that were required by the permit must be maintained.
(Ord. 127099, § 25, 2024; Ord. 124969, § 6, 2016; Ord. 123046, § 33, 2009; Ord. 122311, § 44, 2006.)
A.
Exterior lighting must be shielded and directed away from adjacent uses.
B.
Interior lighting in parking garages must be shielded to minimize nighttime glare affecting nearby uses.
C.
To prevent vehicle lights from affecting adjacent properties, driveways and parking areas for more than two (2) vehicles shall be screened from adjacent properties by a fence or wall between five (5) feet and six (6) feet in height, or solid evergreen hedge or landscaped berm at least five (5) feet in height. If the elevation of the lot line is different from the finished elevation of the driveways or parking surface, the difference in elevation may substitute for a portion of the required height of the screen so long as the screen itself is a minimum of three (3) feet in height. The Director may waive the requirement for the screening if it is not needed due to changes in topography, agreements to maintain an existing fence, or the nature and location of adjacent uses.
D.
Height.
1.
Exterior lighting on poles is permitted up to a maximum height of thirty (30) feet from finished grade. In zones with a forty (40) foot or greater height limit, exterior lighting on poles is permitted up to a height of forty (40) feet from finished grade, provided that the ratio of watts to area is at least twenty (20) percent below the maximum exterior lighting level permitted by the Energy Code.
2.
Athletic Fields.
a.
Light poles for illumination of athletic fields on new and existing public school sites may exceed the maximum permitted height set forth in subsection D1, above, up to a maximum height of one hundred (100) feet, where determined by the Director to be necessary to ensure adequate illumination and where the Director determines that impacts from light and glare are minimized to the greatest extent practicable. The applicant must submit an engineer's report demonstrating that impacts from light and glare are minimized to the greatest extent practicable. When proposed light poles are reviewed as part of a project being reviewed pursuant to Chapter 25.05, Environmental Policies and Procedures, and requiring a SEPA determination, the applicant must demonstrate that the additional height contributes to a reduction in impacts from light and glare.
b.
When proposed light poles are not included in a proposal being reviewed pursuant to Chapter 25.05, the Director may permit the additional height as a special exception subject to Chapter 23.76, Procedures for Master Use Permits and Council Land Use Decisions.
(1)
When seeking a special exception for taller light standards, the applicant must submit an engineer's report demonstrating that the additional height contributes to a reduction in impacts from light and glare. When the proposal will result in extending the lighted area's duration of use, the applicant must address and mitigate potential impacts, including but not limited to, increased duration of noise, traffic, and parking demand. The applicant also must demonstrate it has conducted a public workshop for residents within (⅛) one-eighth of a mile of the affected school in order to solicit comments and suggestions on design as well as potential impacts.
(2)
The Director may condition a special exception to address negative impacts from light and glare on surrounding areas, and may also impose conditions to address other impacts associated with increased field use due to the addition of lights, including, but not limited to, increased noise, traffic, and parking demand.
E.
Glare diagrams that clearly identify potential adverse glare impacts on residential zones and on arterials shall be required when:
1.
Any structure is proposed to have a facade of reflective coated glass or other highly reflective material, and/or new or expanded structures greater than 65 feet in height are proposed to have more than 30 percent of a facade composed of clear or tinted glass; and
2.
The facade(s) surfaced or composed of materials referred to in subsection 23.47A.022.E.1 above either:
a.
are oriented toward and are less than 200 feet from any residential zone, and/or
b.
are oriented toward and are less than 400 feet from any arterial with more than 15,000 vehicle trips per day, according to Seattle Department of Transportation data.
3.
When glare diagrams are required, the Director may require modification of the plans to mitigate adverse impacts, using methods including but not limited to the following:
a.
Minimizing the percentage of exterior facade that is composed of glass;
b.
Using exterior glass of low reflectance;
c.
Tilting glass areas to prevent glare that could affect arterials, pedestrians or surrounding structures;
d.
Alternating glass and non-glass materials on the exterior facade; and
e.
Changing the orientation of the structure.
A.
Amenity areas are required in an amount equal to 5 percent of the total gross floor area in residential use, except as otherwise specifically provided in this Chapter 23.47A. Gross floor area, for the purposes of this subsection 23.47A.024.A, excludes areas used for mechanical equipment and accessory parking. For the purposes of this subsection 23.47A.024.A, bioretention facilities qualify as amenity areas.
B.
Required amenity areas shall meet the following standards, as applicable:
1.
All residents shall have access to at least one common or private amenity area.
2.
Amenity areas shall not be enclosed.
3.
Parking areas, vehicular access easements, and driveways do not qualify as amenity areas, except that a woonerf may provide a maximum of 50 percent of the amenity area if the design of the woonerf is approved through a design review process pursuant to Chapter 23.41.
4.
Common amenity areas shall have a minimum horizontal dimension of 10 feet, and no common amenity area shall be less than 250 square feet in size.
5.
Private balconies and decks shall have a minimum area of 60 square feet, and no horizontal dimension shall be less than 6 feet.
6.
Rooftop areas excluded because they are near minor communication utilities and accessory communication devices, pursuant to subsection 23.57.012.C.1.d, do not qualify as amenity areas.
(Ord. 124952, § 17, 2015; Ord. 123495, § 49, 2011; Ord. 122311, § 44, 2006.)
A.
The Director, in consultation with the Director of the Department of Neighborhoods, may waive or allow departures from standards for street level development, residential amenity areas, setbacks, floor area ratio limits and screening and landscaping for designated landmark structures or for development within a Landmark District pursuant to Seattle Municipal Code, Title 25 or within a Special Review District pursuant to Seattle Municipal Code, Chapter 23.66.
B.
The Director's decision to waive or allow departures from development standards shall be consistent with adopted District design and development guidelines and shall be consistent with the recommendations of the Landmarks Preservation Board or the Director of Neighborhoods except when potential environmental impacts clearly require denial or granting lesser waivers or departures.
(Ord. 123495, § 50, 2011; Ord. 122935, § 10, 2009; Ord. 122311, § 44, 2006.)
A.
Number of Drive-in Lanes and Fuel Pumps Permitted.
1.
Drive-in lanes are permitted, conditioned, or prohibited as follows:
2.
In NC zones, gas stations may contain no more than four (4) fuel pumps capable of fueling no more than eight (8) automobiles simultaneously, except as may be allowed under subsection A3 of this section.
3.
The Director shall permit one (1) additional lane and one (1) additional fuel pump provided that the additional lane serves, and the additional fuel pump dispenses, one or more of the following fuels: natural gas, bio-diesel, or hydrogen.
4.
Gas stations in all NC zones, and restaurants with drive-in lanes in NC3 zones, are permitted subject to the following requirements:
a.
The design, including architectural treatment, signage, landscaping and lighting, is compatible with other structures in the vicinity;
b.
Appropriate litter-control measures are provided; and
c.
The applicant, if required by the Director, prepares an analysis of traffic, circulation and parking impacts, and demonstrates that the drive-in lanes will not:
(1)
Cause significant additional traffic to circulate through adjacent residential neighborhoods;
(2)
Disrupt the pedestrian character of an area by significantly increasing the potential for pedestrian-vehicle conflicts;
(3)
Create traffic or access problems that will require the expenditure of City funds to mitigate;
(4)
Interfere with peak-hour transit operations, by causing auto traffic to cross a designated high-occupancy vehicle lane adjacent to the lot;
(5)
Cause cars waiting to use the facility to queue across the sidewalk or onto the street; or
(6)
Interrupt established retail or service frontage designed to serve pedestrians.
B.
Drive-in businesses must provide queuing spaces according to the following:
1.
Banks with drive-in facilities: a minimum of five (5) queuing spaces per lane when the number of lanes does not exceed two (2). When the number of drive-in lanes exceeds two (2) a minimum of three (3) queuing spaces per lane is required.
2.
Car washes: a minimum of ten (10) queuing spaces.
C.
If the drive-in bank or car wash is located along either a principal arterial or a minor arterial, or along a street with only one lane for moving traffic in each direction, the Director will determine as a Type I Master Use Permit decision, after consulting with the Director of Transportation, whether additional queuing spaces are necessary or whether access should be restricted. The Director may restrict access to the facility from that arterial or street, or may require additional queuing space up to a maximum of:
1.
Banks with one (1) or two (2) drive-in lanes, eight (8) spaces per lane;
2.
Banks with three (3) or more drive-in lanes, six (6) spaces per lane;
3.
Car washes, twenty (20) spaces per lane.
D.
The Director will determine the minimum number of queuing spaces needed for drive-in business uses not specifically identified in subsection B and C above.
E.
Screening and landscaping of drive-in businesses is required in accordance with subsection 23.47A.016 D2.
(Ord. 122311, § 44, 2006.)
A.
Access to parking
1.
NC zones. The following rules apply in NC zones, except as provided under subsections 23.47A.032.A.2 and 23.47A.032.D:
a.
Access to parking shall be from the alley if the lot abuts an alley improved to the standards of subsection 23.53.030.C, or if the Director determines that alley access is feasible and desirable to mitigate parking access impacts. If alley access is infeasible, the Director may allow street access.
b.
If access is not provided from an alley and the lot abuts only one street, access is permitted from the street, and limited to one two-way curb cut.
c.
If access is not provided from an alley and the lot abuts two or more streets, access is permitted across one of the side street lot lines pursuant to subsection 23.47A.032.C, and curb cuts are permitted pursuant to subsection 23.54.030.F.2.a.1.
d.
For each permitted curb cut, street-facing facades may contain one garage door, not to exceed the maximum width allowed for curb cuts.
2.
In addition to the provisions governing NC zones in subsection 23.47A.032.A.1, the following rules apply in pedestrian-designated zones, except as may be permitted under subsection 23.47A.032.D:
a.
If access is not provided from an alley and the lot abuts two or more streets, access to parking shall be from a street that is not a principal pedestrian street.
b.
If access is not provided from an alley and the lot abuts only a principal pedestrian street or streets, access is permitted from the principal pedestrian street, and limited to one two-way curb cut.
3.
In C1 and C2 zones, access to off-street parking may be from a street, alley, or both when the lot abuts an alley. However, structures in C zones with residential uses, structures in C zones with pedestrian designations, and structures in C zones across the street from residential zones shall meet the requirements for parking access for NC zones as provided in subsection 23.47A.032.A.1. If two or more structures are located on a single site, then a single curb cut shall be provided according to the standards in Sections 23.47A.032.A.1, 23.47A.032.A.2, and 23.54.030.F.2.
4.
In the event of conflict between the standards for curb cuts in this subsection 23.47A.032.A and the provisions of subsection 23.54.030.F, the standards in subsection 23.54.030.F shall control.
B.
Location of parking
1.
The following rules apply in NC zones, except as provided in subsection 23.47A.032.D:
a.
Parking shall not be located between a structure and a street lot line (Exhibit A for 23.47A.032).
Exhibit A for 23.47A.032
Parking Not Permitted Between a Structure and Street in NC Zones
b.
Within a structure, street-level parking shall be separated from street-level, street-facing facades by another permitted use. This requirement does not apply to access to parking meeting the standards of subsection 23.47A.032.A.
c.
Parking to the side of a structure shall not exceed 60 feet of street frontage (Exhibit B for 23.47A.032).
Exhibit B for 23.47A.032
Parking to the Side of a Structure in NC Zones
2.
In pedestrian designated zones, surface parking is prohibited abutting the street lot line along a principal pedestrian street.
3.
Off-street parking may be located anywhere on a lot in C1 and C2 zones, except that structures with residential uses in C zones, structures in C zones with pedestrian designations, and structures in C zones across the street from residential zones shall meet the requirements for parking location for NC zones as provided in subsection 23.47A.032.B.1, except that if a lot in a C zone is bordered by streets on all sides, then parking may be provided between a street and a structure, but only on sides facing other commercially zoned lots.
4.
Required parking shall be located no farther than 800 feet from the lot with the use to which it is accessory, and off-site parking shall comply with the provisions of Section 23.54.025.
C.
When a lot fronts on two or more streets, the Director will determine which of the streets will be considered the front lot line, for purposes of this section only. In making a determination, the Director will consider the following criteria:
1.
The extent to which each street's pedestrian-oriented character or commercial continuity would be disrupted by curb cuts, driveways or parking adjacent to the street;
2.
The potential for pedestrian and automobile conflicts; and
3.
The relative traffic capacity of each street as an indicator of the street's role as a principal commercial street.
D.
Exceptions to parking location and access requirements
1.
Access to off-street parking may be from a street if, due to the relationship of an alley to the street system, use of the alley for parking access would create a significant safety hazard as determined by the Director.
2.
If a lot borders an unopened right-of-way, the Director may apply the parking access and location requirements as if that street did not border the lot if, after consultation with the Director of Transportation, the Director determines that the street is unlikely to be opened or improved.
3.
On waterfront lots in the Shoreline District, parking may be located between the structure and the front lot line, if necessary to prevent blockage of view corridors or to keep parking away from the edge of the water as required by the Shoreline Master Program.
4.
For fire and police stations, the Director shall determine the appropriate access to parking based upon needs of emergency and other vehicles and the configuration of the site.
E.
When an existing building is proposed to be expanded, the Director shall determine the location of parking and access with the goal of minimizing the impact of parking and access along the front lot line.
F.
Access to a loading berth shall be from the alley if the lot abuts an alley improved to the standards of subsection 23.53.030.C, or if the Director determines that alley access is feasible and desirable to mitigate right-of-way impacts.
G.
Parking shall be screened according to the provisions of Section 23.47A.016.
H.
Surface Parking.
1.
Pedestrian access through surface parking areas. Where a pedestrian entrance to one or more general sales and service or major durables retail sales uses greater in the aggregate than 30,000 square feet is oriented to a parking lot, a 5-foot-wide pedestrian walkway through the parking lot to the pedestrian entrance shall be provided for each 50 spaces of parking provided.
2.
Surface parking separating the building from the street. Where a pedestrian entrance to one or more general sales and service or major durables retail sales uses greater in the aggregate than 30,000 square feet is oriented to a surface parking area separating a building from a street, at least one 5-foot-wide pedestrian walkway from the street to the pedestrian entrance shall be provided.
(Ord. 125558, § 17, 2018; Ord. 124843, § 34, 2015; Ord. 124770, § 7, 2015; Ord. 124378, § 44, 2013; Ord. 123649, § 23, 2011; Ord. 123047, § 1, 2009; Ord. 122935, § 11, 2009; Ord. 122816, § 4, 2008; Ord. 122311, § 44, 2006.)
Proposed uses in NC zones or C zones shall meet the transportation concurrency level-of-service standards prescribed in Chapter 23.52.
(Ord. 122311, § 44, 2006.)
A.
In addition to the requirements in subsection 23.47A.035.B, assisted living facilities are subject to the development standards of the zone in which they are located, except that the amenity area requirements of Section 23.47A.024 do not apply.
B.
Other requirements
1.
Minimum unit size. Assisted living units shall be designed to meet the minimum square footage required by WAC 388-110-140.
2.
Facility kitchen. An on-site kitchen that serves the entire assisted living facility is required.
3.
Communal area. Communal areas that are either interior or exterior spaces, such as solariums, decks and porches, recreation rooms, dining rooms, living rooms, foyers and lobbies, and gardens or other outdoor landscaped areas shall be provided as follows:
a.
The total amount of communal area shall equal at least 10 percent of the total floor area in assisted living units. In calculating the total floor area in assisted living units, all of the area of each unit, excluding bathrooms, is counted, including counters, closets and built-ins;
b.
Service areas, including, but not limited to, the facility kitchen, laundry, hallways and corridors, supply closets, operations and maintenance areas, staff areas and offices, and rooms used only for counseling or medical services, shall not be counted as required communal area;
c.
A minimum of 400 square feet of the required communal area shall be provided as an outdoor area, with no dimension less than 10 feet. Outdoor areas provided as required communal area shall be accessible to people with disabilities; and
d.
Adequate seating for residents and guests shall be provided in required communal areas.
(Ord. 124172, § 7, 2013; Ord. 123495, § 52, 2011; Ord. 122311, § 44, 2006.)
Transitional encampments accessory to religious facilities or to principal uses located on property owned or controlled by a religious organization are regulated by Section 23.42.054, Transitional Encampments Accessory to Religious Facilities.
(Ord. 123729, § 5, 2011.)
In addition to the development standards of the zone, pet daycare centers are subject to the following:
A.
Operating business establishments that have been providing pet daycare services as of July 31, 2006, may continue notwithstanding nonconformities to applicable development standards, provided the provisions of this Section 23.47A.039 are met.
B.
The pet daycare center shall be permitted by Public Health-Seattle & King County, as required by Section 10.72.020.
C.
Facilities for the boarding of animals may occupy no more than 30 percent of the gross floor area of the pet daycare center. A pet grooming service may provide facilities for the boarding of animals subject to the regulations for pet daycare centers in this Section 23.47A.039.
D.
Required loading pursuant to 23.54.015 may be provided in a public right of way if the applicant can demonstrate to the Director, in consultation with the Seattle transportation Department, that pedestrian circulation or vehicle traffic will not be significantly impacted.
E.
Applicants must submit at the time of permit application, written operating procedures, such as those recommended by the American Boarding and Kennel Association (ABKA) or the American Kennel Club (AKC). Such procedures, which are to be followed for the life of the business, must address the identification and correction of animal behavior that impacts surrounding uses, including excessive barking.
F.
Violations of this Section.
1.
Any violation in a pet daycare center of SMC 25.08.500, Public disturbance noises, shall be a violation of this title.
2.
When a notice of violation is issued for animal noise, the Director may require a report from an acoustical consultant to describe measures to be taken by the applicant to mitigate adverse noise impacts. The Director may require measures, including but not limited to: development or modification of operating procedures; cessation of the use of outdoor area(s); closure of windows and doors; reduction in hours of operation; use of sound attenuating construction or building materials such as insulation and noise baffles.
In lieu of meeting development standards contained in subsections 23.47A.012.A (height) and 23.47A.013.A (floor area), a proposed development that meets the requirements of Section 23.42.055 may elect to meet the alternative development standards in this Section 23.47A.040.
A.
Maximum height
1.
The applicable height limit for development permitted pursuant to Section 23.42.055 in NC zones and C zones as designated on the Official Land Use Map, Chapter 23.32 is increased as shown in Table A for 23.47A.040.
2.
Split-zoned lots
a.
On lots located in two or more zones, the height limit for the entire lot shall be the highest height limit of all zones in which the lot is located, provided that:
1)
At least 65 percent of the total lot area is in the zone with the highest height limit;
2)
No portion of the lot is located in a neighborhood residential zone; and
3)
A minimum setback of 10 feet applies for any lot line that abuts a lot in a neighborhood residential zone.
b.
For the purposes of this subsection 23.47A.040.A.2, the calculation of the percentage of a lot or lots located in two or more zones may include lots that abut and are in the same ownership at the time of the permit application.
B.
Floor area
1.
Development permitted pursuant to Section 23.42.055 is subject to the FAR limits as shown in Table B for 23.47A.040.
2.
In addition to the FAR exemptions in subsection 23.47A.013.B, an additional FAR exemption up to the total amount specified in Table B for 23.47A.040 is allowed for any combination of the following floor area:
a.
Floor area in units with two or more bedrooms and a minimum net unit area of 850 square feet;
b.
Floor area of a religious facility;
c.
Floor area in a structure designated as a Landmark pursuant to Chapter 25.12; and
d.
Any floor area in a development located within 1/4 mile (1,320 feet) of a transit stop or station served by a frequent transit route as defined in subsection 23.54.015.B.4.
3.
Split-zoned lots
a.
On lots located in two or more zones, the FAR limit for the entire lot shall be the highest FAR limit of all zones in which the lot is located, provided that:
1)
At least 65 percent of the total lot area is in the zone with the highest FAR limit;
2)
No portion of the lot is located in a neighborhood residential zone; and
3)
A minimum setback of 10 feet applies for any lot line that abuts a lot in a neighborhood residential zone.
b.
For the purposes of this subsection 23.47A.040.B.3, the calculation of the percentage of a lot or lots located in two or more zones may include lots that abut and are in the same ownership at the time of the permit application.
C.
Upper-level setback. An upper-level setback of 8 feet from the lot line is required for any street-facing facade for portions of a structure exceeding the mapped height limit designated on the Official Land Use Map, Chapter 23.32.
(Ord. 126855, § 1, 2023 [amended title]; Ord. 126509, § 67, 2022 [zone name change]; Ord. 126384, § 7, 2021.)
Map A for 23.47A.005: 15th Ave West
(Ord. 125125, § 2, 2016)
Map B for 23.47A.005: Uptown Urban Center West
(Ord. 125125, § 2, 2016)
Map C for 23.47A.005: Uptown Urban Center East
(Ord. 125125, § 2, 2016)
Map D for 23.47A.005: Georgetown
(Ord. 125125, § 2, 2016)