45 - MULTIFAMILY
A.
This Chapter 23.45 establishes regulations for the following zones:
1.
Lowrise 1 (LR1);
2.
Lowrise 2 (LR2);
3.
Lowrise 3 (LR3);
4.
Midrise (MR); and
5.
Highrise (HR).
B.
Zones listed in subsection 23.45.502.A and having an incentive zoning suffix are subject to this Chapter 23.45 and Chapter 23.58A, Incentive Provisions.
C.
Some land in these zones may be regulated by Subtitle III, Division 3, Overlay Districts, of this Title 23.
D.
Other regulations, including but not limited to general use provisions (Chapter 23.42); requirements for streets, alleys, and easements (Chapter 23.53); standards for parking quantity, access, and design (Chapter 23.54); standards for solid waste storage (Chapter 23.54); signs (Chapter 23.55); communication regulations (Chapter 23.57); and methods for measurements (Chapter 23.86), may apply to development proposals.
(Ord. 125791, § 31, 2019; Ord. 125267, § 5, 2017; Ord. 124378, § 25, 2013; Ord. 123770, § 4, 2011; Ord. 123495, § 22, 2011; Ord. No. 123209, § 15, 2009.)
A.
All uses are permitted outright, prohibited, or permitted as a conditional use according to Table A for 23.45.504 and this Section 23.45.504. Uses not referred to in Table A for 23.45.504 are prohibited, unless otherwise indicated in this Chapter 23.45 or Chapters 23.51A, 23.51B, or 23.57. Communication utilities and accessory communication devices, except as exempted in Section 23.57.002, are subject to the regulations in this Chapter 23.45 and additional regulations in Chapter 23.57. Public facilities are subject to the regulations in Section 23.51A.004.
B.
All permitted uses are allowed as a principal use or as an accessory use, unless otherwise indicated in this Chapter 23.45.
C.
Accessory uses. The following accessory uses are permitted in all multifamily zones, subject to the standards in Section 23.45.545, if applicable:
1.
Private garages and carports;
2.
Private, permanent swimming pools, hot tubs and other similar uses;
3.
Solar collectors, including solar greenhouses;
4.
Open wet moorage accessory to residential structures;
5.
Uses accessory to parks and playgrounds, pursuant to Section 23.45.578;
6.
Bed and breakfasts in a dwelling unit that is at least five years old;
7.
Recycling collection stations;
8.
Urban farms with planting area not more than 4,000 square feet. Urban farms with greater than 4,000 square feet of planting area may be allowed as an administrative conditional use to any use permitted outright or as a conditional use. The Director may grant, condition or deny a conditional use permit in accordance with subsection 23.42.051.B; and
9.
Accessory dwelling units.
D.
Heat recovery incinerators may be permitted as accessory administrative conditional uses, pursuant to Section 23.45.506.
E.
Ground-floor commercial use
1.
Drive-in businesses are prohibited, as either a principal or accessory use.
2.
The following uses are permitted as ground-floor commercial uses in MR and HR zones pursuant to Section 23.45.532:
a.
Business support services;
b.
Food processing and craft work;
c.
General sales and services;
d.
Medical services;
e.
Offices;
f.
Restaurants; and
g.
Live-work with one of the uses permitted in this subsection 23.45.504.E as the permitted commercial use.
F.
Existing cemeteries are permitted to continue in use. New cemeteries are prohibited and existing cemeteries are prohibited from expanding. For purposes of this Section 23.45.504, a change in a cemetery boundary is not considered an expansion in size and is permitted provided that:
1.
The change does not increase the net land area occupied by the cemetery;
2.
The land being added to the cemetery is contiguous to the existing cemetery and is not separated from the existing cemetery by a public street or alley whether or not improved; and
3.
The use of the land being added to the cemetery will not result in the loss of housing.
G.
Except as provided in subsections 23.45.504.G.1 and 23.45.504.G.2 below, medical service uses other than permitted ground-floor commercial uses are prohibited.
1.
Medical service uses in HR zones may be permitted as administrative conditional uses pursuant to subsection 23.45.506.F.
2.
Medical service uses meeting the development standards for institutions are permitted outright on property conveyed by a deed from the City that, at the time of conveyance, restricted the property's use to a health care or health-related facility.
H.
Fences and free-standing walls of utility services uses shall be set back from the street lot line by an average of 7 feet and be no less than 5 feet from the street lot line at any point. Landscaping shall be provided between the fence or wall and the street lot line. The Director may reduce this setback after finding that the reduced setback will not significantly increase project impacts, including but not limited to noise, odor, and the scale of the structure in relation to nearby buildings. Acceptable methods to reduce fence or wall impacts include changes in the height, design or construction of the fence or wall, including the use of materials, architectural detailing, artwork, vegetated trellises, decorative fencing, or similar features to provide visual interest facing the street lot line. Fences and walls may obstruct or allow views to the interior of a site. Where site dimensions and conditions allow, applicants are encouraged to provide both a landscaped setback between the fence or wall and the right-of-way, and a fence or wall that provides visual interest facing the street lot line, through the height, design or construction of the fence or wall, including the use of materials, architectural detailing, artwork, vegetated trellises, decorative fencing, or similar features.
(Ord. 127098, § 2, 2024; Ord. 126626, § 2, 2022; Ord. 126384, § 5, 2021; Ord. 125558, § 6, 2018; Ord. 124843, § 18, 2015; Ord. 124608, § 5, 2014; Ord. 123939, § 7, 2012; Ord. 123547, § 3, 2011; Ord. 123495, § 24, 2011; Ord. 123378, § 11, 2010; Ord. 123209, § 17, 2009.)
A.
Uses permitted as administrative conditional uses in Section 23.45.504 may be permitted by the Director when the provisions of Section 23.42.042 and this Section 23.45.506 are met.
B.
Unless otherwise specified in this Chapter 23.45, conditional uses shall meet the development standards for uses permitted outright. If an existing structure is nonconforming to development standards, then no conditional use is required for any alterations that do not increase the nonconformity.
C.
Institutions other than public schools not meeting the development standards of 23.45.570, Institutions, and Major Institution uses as provided in Chapter 23.69, may be permitted subject to the following:
1.
Bulk and Siting. In order to accommodate the special needs of the proposed institution, and to better site the facility with respect to its surroundings, the Director may modify the applicable development standards. In determining whether to allow such modifications, the Director shall balance the needs of the institution against the compatibility of the proposed institution with the residential scale and character of the surrounding area.
2.
Dispersion Criteria. An institution that does not meet the dispersion criteria of Section 23.45.570 may be permitted by the Director upon determination that it would not substantially worsen parking shortages, traffic safety hazards, and noise in the surrounding residential area.
3.
Noise. The Director may condition the permit in order to mitigate potential noise problems. Measures the Director may require for this purpose include, but are not limited to the following: landscaping, sound barriers, fences, berms, adjustments to yards or the location of refuse storage areas, location of parking areas and access, structural design modifications, and regulating hours of use.
4.
Transportation Plan. A transportation plan is required for proposed new institutions and for those institutions proposing to expand larger than 4,000 square feet of floor area and/or required to provide 20 or more new parking spaces. The Director may condition a permit to mitigate potential traffic and parking impacts pursuant to a Transportation Management Plan or Program as described in directors rules governing such plans or programs. The Director will determine the level of detail to be disclosed in the transportation plan based on the probable impacts and/or scale of the proposed institution.
D.
A use not otherwise permitted in the zone within a structure designated as a Seattle landmark that is subject to controls and incentives imposed by a designating ordinance, when the owner of the landmark has executed and recorded an agreement acceptable in form and content to the Landmarks Preservation Board providing for the restoration and maintenance of the historically significant features of the structure, may be permitted subject to the following:
1.
The use is compatible with the existing design and/or construction of the structure without significant alteration; and
2.
Uses permitted by the zone are impractical because of structure design and/or that no permitted use can provide adequate financial support necessary to sustain the structure in reasonably good physical condition.
E.
Park and ride facilities on surface parking lots may be permitted as a Type II decision subject to the following:
1.
The facility may be permitted only where there is direct vehicular access to an arterial street improved to City standards in subsection 23.53.015.B.
2.
The facility is located on a lot containing required accessory parking for other uses, and there must be no substantial conflict in the principal operating hours of the facility and other uses on the lot.
3.
The Director may require noise mitigation, vehicular access control, signage restrictions, landscaping and screening in addition to that required for surface parking areas, and other measures to provide comfort and safety for pedestrians and bicyclists. The purpose of these measures is to help ensure the compatibility of the facility with the surrounding area.
F.
In addition to medical service uses permitted as ground floor commercial uses pursuant to subsection 23.45.504.E, medical service uses occupying over 4,000 square feet may be permitted in Highrise zones as administrative conditional uses on lots that are at least 25,000 square feet in size, have not been in residential use since January 1, 1989, and are located on a block that abuts a Neighborhood Commercial zone on at least two entire sides of the block (defined for the purpose of this subsection 23.45.506.F as an area bounded by street lot lines).
1.
In order to approve a medical service use, the Director must determine that the medical service use is an expansion of an existing medical service business establishment in the immediate vicinity that is not a major institution.
2.
Design review is required.
3.
The development standards in Sections 23.45.510, 23.45.514, 23.45.516, 23.45.518, 23.45.520, and 23.45.536 do not apply to the portion of the structure occupied by medical service uses, except as specified in this subsection 23.45.506.F. Portions of the structure occupied by medical service uses shall meet the following development standards:
a.
The maximum height for the portions of structures containing medical office uses is 108 feet, except that the provisions for green roofs and rooftop features in Section 23.45.514 apply.
b.
The average of the gross floor area of stories in medical service use above 45 feet in height shall not exceed 60 percent of the area of the lot.
4.
Setbacks
a.
Setbacks shall be required as shown on Table A for 23.45.506.
Table A for 23.45.506: Setback Requirements for Medical Office Uses (all measurements in feet)
b.
If the ground floor of a street facade is in use as a child care center, community center, or commercial use permitted on the ground floor by Section 23.45.504, no setback is required for the portion of the street facade that is 45 feet in height or less.
c.
If a lot abutting the lot is developed to the side lot line, portions of the proposed development that are 45 feet in height or less may be joined to the abutting structure.
d.
Projections into required setbacks, and structures in required setbacks, are permitted pursuant to Section 23.45.518.
5.
A minimum of 25 percent of the lot area shall be provided as landscaped open space at ground level. Except as provided in this subsection 23.45.506.F.5, no horizontal dimension for required open space shall be less than 10 feet, nor shall any required open space area be less than 225 square feet. The following additional areas may be included in the calculation of required ground level open space:
a.
Area in the public right-of-way of a neighborhood green street designated in Section 23.45.516 abutting the lot that is improved according to a plan approved by the Director, in consultation with the Director of the Seattle Department of Transportation; except that the Director may waive the requirement that the neighborhood green street abut the lot and allow the improvements to be made to a neighborhood green street located in the general vicinity of the project, if such an improvement is determined to be beneficial to the occupants of the project; and
b.
Landscaped area in the public right-of-way that abuts the required open space on the lot, when the landscaping contributes to achievement of the Green Factor score required in subsection 23.45.506.F.6. below.
6.
The landscaping and screening requirements of Section 23.45.524 apply, except that the required Green Factor score is 0.3 or greater, pursuant to Section 23.86.019.
7.
Parking shall be required as provided in Chapter 23.54.
8.
The Director shall determine the location of access to parking. In order to promote pedestrian safety and comfort, access via an alley is preferred. Where street access is deemed appropriate, due to safety hazards, topography, or other special conditions of the lot, the number of curb cuts and the width of curb cuts, driveways, and garage openings shall be minimized.
9.
No surface area parking shall be provided, and no parking shall be located at or above grade, unless it is separated from all street lot lines by another use.
10.
The preferred access to loading berths shall be from an alley if the lot abuts an alley. Loading berths shall be located so that access to any residential parking is not blocked.
11.
The Director shall determine the location of passenger load zones, based on safety considerations, minimizing conflicts with automobile and pedestrian traffic, reducing impacts on any nearby residential uses, and the efficient operation of the medical service use.
12.
Identifying signs shall be permitted according to Chapter 23.55, Signs.
13.
For mixed use structures containing both medical service uses and residential uses, the portion of the structure in residential use shall meet the requirements of the HR zone, except as modified by the following:
a.
The maximum width and floor size limits in Section 23.45.520 apply to any portion of the structure in residential use above 45 feet in height.
b.
Amenity areas shall be provided according to the provisions of Section 23.45.522. Open space required at ground level pursuant to subsection 23.45.506.F.5 may be counted as amenity area if it meets the applicable development standards of Section 23.45.522.
c.
No landscaped open space is required in addition to the open space required in subsection 23.45.506.F.5.
G.
Heat recovery incinerators located on the same lot as the principal use may be permitted by the Director as accessory conditional uses, subject to the following conditions:
1.
The incinerator may be located no closer than 100 feet to any lot line unless completely enclosed within a building.
2.
If not within a building, the incinerator shall be enclosed by a view-obscuring fence of sufficient strength and design to resist entrance by children.
3.
Adequate control measures for insects, rodents and odors shall be continuously maintained.
(Ord. 126157, § 19, 2020; Ord. 125558, § 7, 2018; Ord. 123495, § 26, 2011; Ord. 123378, § 12, 2010; Ord. 123209, § 24, 2009.)
A.
Except for structures related to an urban farm, a structure occupied by a permitted use other than a residential use may be partially or wholly converted to a residential use even if the structure does not conform to the development standards for residential uses in multifamily zones.
B.
Off-street parking shall be provided pursuant to Section 23.54.015, and as permitted by provisions of Sections 23.45.504 and 23.45.506, if applicable.
C.
Expansions of nonconforming converted structures and conversions of structures occupied by nonconforming uses are regulated by Sections 23.42.108 and 23.42.110.
D.
Methods for measurements are provided in Chapter 23.86. Requirements for streets, alleys, and easements are provided in Chapter 23.53. Standards for parking and access and design are provided in Chapter 23.54. Standards for solid waste and recyclable materials storage space are provided in Section 23.54.040. Standards for signs are provided in Chapter 23.55.
E.
Assisted living facilities, congregate residences, nursing homes, and structures containing ground floor commercial uses as allowed by Chapter 23.46 in RC zones shall meet the development standards for apartments unless otherwise specified.
F.
Single-family dwelling units. In LR zones, single-family dwelling units shall meet the development standards for townhouse developments, except as otherwise provided. In MR and HR zones, single-family dwelling units shall meet the development standards of the zone.
G.
Proposed uses in all multifamily zones are subject to the transportation concurrency level-of-service standards prescribed in Chapter 23.52.
H.
Lots with no street frontage. For purposes of structure width, depth, and setbacks, multifamily zoned lots that have no street frontage are subject to the following:
1.
For lots that have only one alley lot line, the alley lot line shall be treated as a front lot line.
2.
For lots that have more than one alley lot line, the Director shall determine which alley lot line shall be treated as the front lot line.
3.
For lots that have no alley lot lines, the applicant may choose the front lot line provided that the selected front lot line length is at least 50 percent of the width of the lot.
I.
Any other provision of the Seattle Municipal Code notwithstanding, an applicant is not entitled to a permit for any use or development on a lot in an LR zone that would be inconsistent with any term, condition, or restriction contained either in any recorded agreement that is in effect as to that lot and was made in connection with a rezone of the lot to LDT, L1, L2, L3, or L4, or in any City Council decision or ordinance related to a rezone of the lot to LDT, L1, L2, L3, or L4 conditioned on a recorded agreement prior to April 19, 2011.
J.
If more than one category of residential use is located on a lot, and if different development standards apply to the different categories of use, then each category's percentage of the total limit imposed by the development standard shall be calculated based on each category's percentage of total structure footprint area, as follows:
1.
Calculate the footprint, in square feet, for each category of residential use. For purposes of this calculation, "footprint" is defined as the horizontal area enclosed by the exterior walls of the structure.
2.
Calculate the total square feet of footprint of all categories of residential uses on the lot.
3.
Divide the square footage of the footprint for each category of residential structure in subsection 23.45.508.J.1 by the total square feet of footprints of all residential uses in subsection 23.45.508.J.2.
4.
Multiply the percentage calculated in subsection 23.45.508.J.3 for each housing category by the area of the lot. The result is the area of the lot devoted to each housing category.
5.
The total limit for each category of residential use is the applicable limit for that use multiplied by the percentage calculated in subsection 23.45.508.J.4.
K.
Unless otherwise specified, the development standards of each zone shall be applied in that zone, and may not be used in any other zone, except that if both zones have the same development standards, the development standard shall be applied to the lot as a whole. If a lot or development site includes more than one zoning designation and a development standard is based on lot area, the lot area used in applying the development standard shall be the portion of the contiguous area with the corresponding zoning designation.
(Ord. 127098, § 3, 2024; Ord. 126682, § 1, 2022; Ord. 125791, § 32, 2019; Ord. 125558, § 8, 2018; Ord. 124843, § 19, 2015; Ord. 124608, § 6, 2014; Ord. 124378, § 26, 2013; Ord. 123495, § 27, 2011; Ord. 123378, § 13, 2010; Ord. 123209, § 20, 2009.)
A.
Resolution of standards conflicts. To the extent there is a conflict between this Section 23.45.509 and other sections of Title 23, the provisions of this Section 23.45.509 apply.
B.
University Community Urban Center. The following provisions apply to development in the MR (M1) zone.
1.
Lots located in MR (M1) zones are eligible as Landmark TDR and TDP sending sites if the lot meets the definition of the applicable TDR or TDP sending site in Chapter 23.84A and meets all applicable standards in Section 23.58A.042.
2.
The maximum amount of TDR and TDP that can be transferred from an eligible sending site shall not exceed an amount of floor area equivalent to the numerical value of the FAR permitted on a lot, multiplied by the lot area of the sending site and minus the sum of any chargeable floor area on the lot plus any TDR and TDP previously transferred.
3.
Eligible receiving sites are limited to those lots in SM-U zones specified in subsection 23.48.623.C.
C.
Structures over 240 feet in HR zones. For development containing one or more structures with heights greater than 240 feet, the following additional conditions shall be met:
1.
No parking is allowed to be located at or above grade, unless it is separated from all street lot lines by another use; and
2.
At least 20 percent of the lot area at grade must be common amenity area meeting the standards of Section 23.45.522.
A.
Gross floor area. In multifamily zones, gross floor area includes exterior corridors, breezeways, and stairways that provide building circulation and access to dwelling units or sleeping rooms. Balconies, patios, and decks that are associated with a single dwelling unit or sleeping room and that are not used for common circulation, and ground-level walking paths, are not considered gross floor area.
B.
Floor area ratio (FAR) limits in LR and MR zones. FAR limits apply in LR and MR zones as shown in Table A for 23.45.510 , provided that if the LR zone designation includes an incentive zoning suffix, then gross floor area may exceed the base FAR as identified in the suffix designation, up to the limits shown in Table A for 23.45.510, if the applicant complies with Chapter 23.58A, Incentive Provisions. The applicable FAR limit applies to the total chargeable floor area of all structures on the lot.
C.
FAR limits in HR zones. FAR limits apply in HR zones as shown in Table B for 23.45.510. The applicable FAR limit applies to the total chargeable floor area of all structures on the lot. All floor area above the base FAR, up to the maximum FAR, is considered extra floor area achievable through the provisions of Section 23.45.516 and Chapter 23.58A.
D.
The following floor area is exempt from FAR limits:
1.
All stories, or portions of stories, that are underground.
2.
The floor area in a Landmark structure subject to controls and incentives imposed by a designating ordinance, if the owner of the Landmark has executed and recorded an agreement acceptable in form and content to the Landmarks Preservation Board, providing for the restoration and maintenance of the historically significant features of the structure, except that this exemption does not apply to a lot from which a transfer of development potential (TDP) has been made under Chapter 23.58A, and does not apply for purposes of determining TDP available for transfer under Chapter 23.58A.
3.
The floor area in structures built prior to January 1, 1982, as single-family dwelling units that will remain in residential use, regardless of the number of dwelling units within the existing structure, provided that:
a.
All residential structures in LR zones, except as provided in subsection 23.45.510.D.4.b;
b.
Single family, cottage housing, rowhouse, and townhouse developments in LR zones, provided that all parking is located at the rear of the structure or is enclosed in structures with garage entrances located on the rear facade; and
4.
Portions of a story that extend no more than 4 feet above existing or finished grade, whichever is lower, excluding access, (see Exhibit A for 23.45.510), in the following circumstances:
a.
All residential structures in LR zones, except as provided in subsection 23.45.510.D.4.b;
b.
Single family, cottage housing, rowhouse, and townhouse developments in LR zones, provided that all parking is located at the rear of the structure or is enclosed in structures with garage entrances located on the rear facade; and
c.
All multifamily structures in MR and HR zones.
Exhibit A for 23.45.510
Area exempt from FAR
5.
For rowhouse and townhouse developments and apartments, floor area within a story, or portion of a story, that is partially above grade if all of the following conditions are met:
a.
The story, or portion of the story, that is partially above grade is used for parking or other accessory uses and has no additional stories above;
b.
The average height of the exterior walls enclosing the floor area does not exceed one story, measured from existing or finished grade, whichever is lower;
c.
The roof area above the exempt floor area is predominantly flat, is used as amenity area, and meets the standards for amenity area at ground level in Section 23.45.522; and
d.
At least 25 percent of the perimeter of the amenity area on the roof above the floor area is not enclosed by the walls of the structure.
6.
Enclosed common amenity area in HR zones.
7.
As an allowance for mechanical equipment, in any structure more than 85 feet in height, 3.5 percent of the gross floor area that is not otherwise exempt under this subsection 23.45.510.D.
8.
In HR zones, ground floor commercial uses meeting the requirements of Section 23.45.532, if the street level of the structure containing the commercial uses has a minimum floor-to-floor height of 13 feet and a minimum depth of 15 feet.
9.
The floor area of required bicycle parking for small efficiency dwelling units or congregate residence sleeping rooms, if the bicycle parking is located within the structure containing the small efficiency dwelling units or congregate residence sleeping rooms. Floor area of bicycle parking that is provided beyond the required bicycle parking is not exempt from FAR limits.
10.
Common walls separating individual rowhouse and townhouse dwelling units.
11.
In the Northgate Urban Center, up to 15,000 square feet of floor area in residential use in a structure built prior to 1990 that is located on a split-zoned lot of at least 40,000 square feet in size.
12.
In MR and HR zones, all gross floor area in child care centers.
13.
In low-income housing, all gross floor area for accessory human service uses.
E.
If TDP is transferred from a lot pursuant to Section 23.58A.042, the amount of non-exempt floor area that may be permitted is an FAR of 7, plus any net amount of TDP previously transferred to the lot, minus the sum of the existing non-exempt floor area on the lot and the amount of TDP transferred.
(Ord. 127099, § 17, 2024; Ord. 126855, § 12, 2023; Ord. 126287, § 3, 2021; Ord. 126131, § 4, 2020; Ord. 125791, § 34, 2019; Ord. 125603, § 19, 2018; Ord. 125359, § 2, 2017; Ord. 125272, § 16, 2017; Ord. 125267, § 7, 2017; Ord. 125163, § 5, 2016; Ord. 124843, § 20, 2015; Ord. 124803, § 2, 2015; Ord. 124378, § 27, 2013; Ord. 124172, § 4, 2013; Ord. 123770, § 5, 2011; Ord. 123564, § 6, 2011; Ord. 123495, § 29, 2011; Ord. 123209, § 26, 2009.)
A.
There is no density limit for residential development in LR zones, except that in LR1 zones for rowhouse development on interior lots, all townhouse development, and all single-family dwelling units, and for all residential development in all LR zones that do not have a mandatory housing affordability suffix, the number of dwelling units allowed on a lot is the greater of the number of dwelling units allowed under subsections 23.45.512.B or 23.45.512.C.
B.
Rowhouse development on interior lots, all townhouse development and all single-family dwelling units in LR1 zones, and all residential development in LR zones that do not have a mandatory housing affordability suffix shall not exceed a density of one principal dwelling unit per 1,150 square feet of lot area; except low-income housing shall have a maximum density of one principal dwelling unit per 400 square feet of lot area.
C.
Alternative Density Limits. Rowhouse development on interior lots, all townhouse development and all single-family dwelling units in LR1 zones and all residential development in LR zones that do not have a mandatory housing affordability suffix may include the number of dwelling units permitted under subsection 23.45.512.C.1 or 23.45.512.C.2, as applicable. For the purposes of this subsection 23.45.512.C, dwelling units include both principal and accessory dwelling units.
1.
Permitted densities. The following density limits apply on lots that do not contain any riparian corridors, any wetlands or their buffers, any submerged lands or areas within the shoreline setback, or designated non-disturbance area in steep slopes:
a.
Up to four dwelling units are permitted on lots existing as of June 30, 2025.
b.
Up to six dwelling units are permitted on all lots existing as of June 30, 2025 that are located within one-quarter mile walking distance of a major transit stop.
c.
Up to six dwelling units are allowed on a lot existing as of June 30, 2025 provided that:
1)
A regulatory agreement, covenant, or other legal instrument, recorded on the title of the property and enforceable by The City of Seattle, ensures affordability for income-eligible households for 50 years in at least two principal dwelling units as follows:
a)
For rental housing, restricted units serving households with incomes no higher than 60 percent of median income at initial occupancy and with rents not exceeding 30 percent of 60 percent of median income; or
b)
For ownership housing, restricted units sold to households with incomes no higher than 80 percent of median income at prices (initial sale and resale) that allow modest growth in homeowner equity while maintaining long-term affordability for income-eligible buyers, all as determined by the Director of Housing;
2)
The low-income units must be generally distributed throughout the development and have substantially the same functionality as unrestricted units in the development;
3)
To the extent practicable, the low-income units must be comparable to unrestricted units in terms of square footage and number of bedrooms and bathrooms;
4)
Tenure (i.e., rental or ownership) of low-income units and unrestricted units must be the same;
5)
The regulatory agreement, covenant, or other legal instrument must contain criteria and policies to maintain public benefit if the property is demolished or converted to a non-residential use;
6)
For ownership developments, the low-income units must be stewarded by a qualified non-profit organization including:
a)
Pre-purchase verification of income and other requirements for eligible households, affordable sale price calculations for approval by the Office of Housing, and execution of legal restrictions on the property; and
b)
Post-purchase support for homeowners by facilitating resales, monitoring compliance with financial, owner occupancy, and other legal requirements, and clear communication of program guidelines and restrictions;
7)
For purposes of this subsection 23.45.512.C.5, qualified non-profit organization means a non-profit organization that the Office of Housing determines as experienced in the development and stewardship of permanently affordable homes;
8)
At such times as may be required by the Director of Housing but no less than annually, the property owner for rental housing or the qualified non-profit organization for ownership housing must file property reports with the Office of Housing, verified upon oath or affirmation, which shall contain such information as the Office of Housing may deem necessary to determine compliance with this subsection 23.45.512.C.1.c and the regulatory agreement, covenant, or legal instrument according to subsection 23.45.512.C.1.c.1; and
9)
In zones that have a mandatory housing affordability suffix, the dwelling units for which the regulatory agreement, covenant, or other legal instrument required by subsection 23.45.512.C.1.c.1 ensures affordability as required by that subsection shall be counted towards any obligation to provide MHA-R units according to subsection 23.58C.050.A.
2.
For lots that contain any riparian corridors, wetlands and their buffers, submerged lands and areas within the shoreline setback, or designated non-disturbance area in steep slopes, applicants may choose the density limits in subsection 23.45.512.B or develop the lot with the number of principal and accessory dwelling units as follows:
a.
Determine the number of dwelling units that would be allowed under subsection 23.45.512.C.1 if no environmentally critical areas were located on the lot;
b.
Determine the percentage of the lot that is not covered by riparian corridors, wetlands and their buffers, submerged lands and areas within the shoreline setback, or designated non-disturbance area in steep slopes;
c.
Calculate the number of permitted dwelling units by multiplying the number of units determined in subsection 23.45.512.C.2.a by the percentage of the lot calculated in subsection 23.45.512.C.2.b.
D.
Adding units to existing structures
1.
One additional principal dwelling unit may be added to an existing residential structure regardless of the density restrictions in subsection 23.45.512.B or 23.45.512.C. An additional principal dwelling unit is allowed only if the proposed additional unit is to be located entirely within an existing structure, and no additional floor area to accommodate the new unit is proposed to be added to the existing structure.
2.
For the purposes of this subsection 23.45.512.D, "existing residential structures" are those that were established under permit as of October 31, 2001, or for which a permit has been granted and the permit has not expired as of October 31, 2001.
E.
Measurement of minimum lot size and maximum density
1.
When density calculations result in a fraction of a unit, any fraction up to and including 0.85 constitutes zero additional units, and any fraction over 0.85 constitutes one additional unit.
2.
If dedication of right-of-way is required, permitted density shall be calculated before the dedication is made.
3.
In the case of a development within a unit lot subdivision, the density limit shall be applied to the parent lot as a whole.
4.
When calculating maximum density, the number of dwelling units shall include accessory dwelling units and principal dwelling units.
F.
For the purpose of this Section 23.45.512, "designated non-disturbance area in steep slopes" shall include all portions of steep slope hazard areas except the following:
1.
Areas that are granted relief from the prohibition of development according to Section 25.09.090;
2.
Areas where development is allowed under a small project waiver according to Section 25.09.090;
3.
Areas where development is allowed under an administrative conditional use according to Section 25.09.260; and
4.
Areas where intrusion into the steep slope erosion hazard area and buffer is allowed by steep slope erosion hazard area variance according to Section 25.09.290.
G.
Exception to Density Limits. Dwelling unit(s) located in structures built prior to January 1, 1982 that will remain in residential use are exempt from the density limit described in subsections 23.45.512.B and 23.45.512.C.
H.
The minimum lot size for lots created through a subdivision process is the lot size necessary to allow a density of one principal dwelling unit.
(Ord. 127219, § 18, 2025; Ord. 127211, § 12, 2025; Ord. 126855, § 13, 2023; Ord. 126682, § 2, 2022; Ord. 125791, § 35, 2019; Ord. 125359, § 3, 2017; Ord. 125272, § 17, 2017; Ord. 125267, § 8, 2017; Ord. 124843, § 21, 2015; Ord. 124803, § 3, 2015; Ord. 123495, § 30, 2011; Ord. 123046, § 24, 2009; Ord. 122235, § 2, 2006; Ord. 120608, § 1, 2001; Ord. 119242, § 5, 1998; Ord. 119239, § 14, 1998; Ord. 117173, § 3, 1994; Ord. 115326, § 7, 1990; Ord. 114888, § 2, 1989; Ord. 114887, § 4(part), 1989.)
A.
Subject to the additions and exceptions allowed as set forth in this Section 23.45.514, the height limits for structures in LR zones are as shown on Table A for 23.45.514.
B.
The height limits for structures in MR and HR zones are as shown in Table B for 23.45.514, subject to the additions and exceptions allowed as set forth in this Section 23.45.514.
C.
The height limit for accessory structures that are located in required setbacks or separations is 12 feet, except as follows:
1.
Garages and carports are limited to 12 feet in height as measured on the facade containing the vehicle entrance. Open rails may extend an additional 3 feet above the roof of the garage or carport if any portion of the roof is within 4 feet of existing grade. The ridge of a pitched roof on a garage located in a required setback may extend up to 3 feet above the 12-foot height limit. All parts of the roof above the height limit shall be pitched at a rate of not less than 4:12. No portion of a shed roof is permitted to extend beyond the 12-foot height limit.
2.
The height limit for an accessory dwelling unit is provided in subsection 23.42.022.D.
3.
Freestanding flagpoles and religious symbols for religious institutions are exempt from height controls, except as regulated in Chapter 23.64, provided they are no closer to any lot line than 50 percent of their height above existing grade.
D.
Exceptions for pitched roofs in LR zones that are not shed or butterfly roofs
1.
Pitched roofs that are not shed or butterfly roofs may extend up to 5 feet above the height limits set in Table A for 23.45.514, provided that all parts of the roofs above the height limit have a minimum slope of 3:12 and the height exception in subsection 23.45.514.F is not used.
2.
Portions of curved roof forms, such as barrel and domed roofs, may have a lesser slope than 3:12, if the Director determines that the massing of the roof form is comparable to a pitched roof form such as a gable or gambrel roof that would have a minimum slope of 3:12.
E.
Shed and butterfly roofs in LR zones
1.
In LR zones, the high side(s) of a shed or butterfly roof may extend 3 feet above the height limits set in Table A for 23.45.514, provided that the low side(s) of the shed or butterfly roof are no higher than the height limit (see Exhibit A for 23.45.514) if the height limit exception in subsection 23.45.514.F is not used.
2.
The roof line of a shed or butterfly roof may be extended in order to accommodate eaves, provided that the highest point of the roof extension is no more than 4 feet above the height limit.
Exhibit A for 23.45.514
Height exception for shed and butterfly roofs
F.
For apartments in LR2 zones, and for all residential uses in LR3 zones, the applicable height limit is increased 4 feet above the height shown on Table A for 23.45.514 for a structure that includes a story that is partially below-grade, provided that:
1.
This height exception does not apply to portions of lots that are within 50 feet of a neighborhood residential zone boundary line, unless the lot in the LR zone is separated from a neighborhood residential zoned lot by a street;
2.
The number of stories above the partially below-grade story is limited to four stories for residential uses with a 40-foot height limit and to five stories for residential uses with a 50-foot height limit;
3.
On the street-facing facade(s) of the structure, the story above the partially below-grade story is at least 18 inches above the elevation of the street, except that this requirement may be waived to accommodate units accessible to the disabled or elderly, consistent with the Seattle Residential Code, Chapter 3, or the Seattle Building Code, Chapter 11; and
4.
The average height of the exterior walls of the portion of the story that is partially below-grade does not exceed 4 feet, measured from existing or finished grade, whichever is less.
G.
Roofs enclosed by a parapet. Roof surfaces that are completely surrounded by a parapet may exceed the applicable height limit to allow for a slope, provided that the height of the highest elevation of the roof surface does not exceed 75 percent of the parapet height, and provided that the lowest elevation of the roof surface is no higher than the applicable height limit. See Exhibit B for 23.45.514.
Exhibit B for 23.45.514
Height allowance for sloped roofs concealed by a parapet
H.
Green roofs. For any structure with a green roof that meets standards promulgated by the Director and that covers at least 50 percent of the surface of the roof, up to 2 feet of additional height above the maximum height otherwise allowed for the roof is allowed to accommodate structural requirements, roofing membranes, and soil. See Exhibit C for 23.45.514.
Exhibit C for 23.45.514
Green roof height allowance
I.
Rooftop features
1.
Flagpoles and religious symbols for religious institutions that are located on a roof are exempt from height controls, except as regulated in Chapter 23.64, provided they are no closer to any lot line than 50 percent of their height above the roof portion where attached.
2.
Open railings, planters, greenhouses not dedicated to food production, parapets, and firewalls on the roofs of principal structures may extend 4 feet above the maximum height limit set in subsections 23.45.514.A, 23.45.514.B, and 23.45.514.F.
3.
Architectural projections that result in additional interior space, such as dormers, skylights, and clerestories, are subject to the following limits:
a.
On pitched roofs, these projections may extend to the height of the ridge of a pitched roof that is allowed pursuant to subsection 23.45.514.D, if the following conditions are met:
1)
The total area of the projections is no more than 30 percent of the area of each roof plane measured from the plan view perspective;
2)
Each projection is limited to 10 feet in width; and
3)
Each projection is separated by at least 3 feet from any other projection (see Exhibit D for 23.45.514).
Exhibit D for 23.45.514
Permitted projections on pitched roofs
b.
On flat roofs, these projections may extend 4 feet above the maximum height limit allowed by subsections 23.45.514.A, 23.45.514.B, and 23.45.514.F if the following requirements are met:
1)
The total area of the projections is no more than 30 percent of the area of the roof plane; and
2)
The projections are set back at least 4 feet from any street facing facade.
4.
In LR zones, the following rooftop features may extend up to 10 feet above the height limit set in subsections 23.45.514.A and 23.45.514.F, if the combined total coverage of all features listed in this subsection 23.45.514.I.4 does not exceed 25 percent of the roof area (or 30 percent of the roof area if the total includes screened or enclosed mechanical equipment):
a.
Stair penthouses, except as provided in subsection 23.45.514.I.6;
b.
Mechanical equipment;
c.
Play equipment and open-mesh fencing that encloses it, if the fencing is at least 5 feet from the roof edge;
d.
Chimneys;
e.
Wind-driven power generators;
f.
Sun and wind screens, and similar weather protection features such as eaves or canopies extending from rooftop features;
g.
Greenhouses and solariums;
h.
Covered or enclosed common recreation areas; and
i.
Minor communication utilities and accessory communication devices, except that height is regulated according to the provisions of Section 23.57.011.
5.
In MR and HR zones, the following rooftop features may extend up to 15 feet above the applicable height limit set in subsection 23.45.514.B, if the combined total coverage of all features listed in subsections 23.45.514.I.5 and 23.45.514.I.6 does not exceed 30 percent of the roof area, or does not exceed 35 percent of the roof area if the total includes screened or enclosed mechanical equipment, or does not exceed 60 percent coverage of the roof area if the total includes a greenhouse:
a.
Stair penthouses, except as provided in subsection 23.45.514.I.6;
b.
Mechanical equipment;
c.
Play equipment and open-mesh fencing that encloses it, if the fencing is at least 5 feet from the roof edge;
d.
Chimneys;
e.
Sun and wind screens, and similar weather protection features such as eaves or canopies extending from rooftop features;
f.
Covered or enclosed common recreation areas;
g.
Greenhouses and solariums;
h.
Wind-driven power generators; and
i.
Minor communication utilities and accessory communication devices, except that height is regulated according to the provisions of Section 23.57.011.
6.
Subject to the roof coverage limits in subsections 23.45.514.I.4, 23.45.514.I.5, and 23.45.514.I.7 if applicable, elevator penthouses may extend above the applicable height limit up to 16 feet. Stair penthouses may be the same height as an elevator penthouse if the elevator and stairs are co-located within a common penthouse structure.
7.
At the applicant's option, for structures exceeding 120 feet in HR zones, the combined total rooftop coverage limit of all features listed in subsections 23.45.514.I.5 and 23.45.514.I.6 is 75 percent, provided that all of the following are satisfied:
a.
All mechanical equipment is screened or enclosed; and
b.
No rooftop features are located closer than 10 feet to the roof edge, except features that do not exceed the height of the parapet or 5 feet above the roof surface, whichever is greater, or which may be permitted by design review departure or other code provisions including but not limited to Chapter 23.57.
8.
For height exceptions for solar collectors, see Section 23.45.545.
9.
In order to protect solar access for property to the north, the applicant shall either locate the rooftop features listed in this subsection 23.45.514.I.9 at least 15 feet from the north lot line, or provide shadow diagrams to demonstrate that the proposed location of such rooftop features would shade property to the north on January 21 at noon no more than would a structure built to maximum permitted bulk:
a.
Solar collectors;
b.
Planters;
c.
Clerestories;
d.
Greenhouses and solariums;
e.
Minor communication utilities and accessory communication devices, permitted according to the provisions of Section 23.57.011;
f.
Play equipment;
g.
Sun and wind screens, and similar weather protection features such as eaves or canopies extending from rooftop features;
h.
Covered or enclosed common recreation areas.
10.
For height limits and exceptions for communication utilities and devices, see Section 23.57.011.
(Ord. 127219, § 19, 2025; Ord. 127211, § 13, 2025; Ord. 126685, § 21, 2022; Ord. 126600, § 3, 2022; Ord. 126509, § 60, 2022 [zone name change]; Ord. 125791, § 36, 2019; Ord. 125603, § 20, 2018; Ord. 125359, § 4, 2017; Ord. 125272, § 18, 2017; Ord. 125267, § 9, 2017; Ord. 124803, § 4, 2015; Ord. 124378, § 28, 2013; Ord. 123495, § 31, 2011; Ord. 123378, § 14, 2010; Ord. 123209, § 27, 2009.)
Reviser's note—Ord. 126685's purpose in amending this section was to update a cross-reference. Ord. 126600, which 126685 was not aware of, made a similar update to the same cross-reference. Because 126685's amendment would be nonsensical if codified with 126600's, it has been omitted.
A.
Definitions in Section 23.58A.004 apply in this Section 23.45.516 unless otherwise specified.
B.
In HR zones, extra residential floor area above the base FAR may be gained in accordance with Chapter 23.58A subject to the conditions and limits in this Section 23.45.516.
1.
Up to all extra residential floor area may be gained through the affordable housing incentive provisions in Section 23.58A.014.
2.
Up to 40 percent of extra residential floor area may be gained by one or any combination of:
a.
Transfer of development potential;
b.
Providing neighborhood open space; and/or
c.
Providing a neighborhood green street setback if allowed pursuant to subsection 23.45.516.F, all in accordance with this Section 23.45.516 and Chapter 23.58A.
C.
Structures over 240 feet. For development containing one or more structures with heights greater than 240 feet, the following additional conditions shall be met:
1.
No parking is allowed to be located at or above grade, unless it is separated from all street lot lines by another use; and
2.
One of the following is met:
a.
At least 25 percent of the lot area at grade includes one or more landscaped open spaces, each with a minimum horizontal dimension of 10 feet; or
b.
At least 20 percent of the lot area at grade must be common amenity area meeting the standards of Section 23.45.522.
D.
Transferable Development Potential (TDP) from Landmark structures and open space
1.
Sending lots. TDP may be transferred under the provisions of Section 23.58A.040, as modified by this Section 23.45.516, only from Landmark TDP sites and open space TDP sites. In order to be eligible as a Landmark TDP site or open space TDP site, a lot shall be located in First Hill and shall be zoned MR or HR. Sending lots are subject to the limits and conditions in this Chapter 23.45 and Chapter 23.58A. The amount of TDP that may be transferred from a lot is limited to the amount by which the base FAR under Section 23.45.510 exceeds floor area on the lot that is not exempt under Section 23.45.510.
2.
Receiving lots. Any lot located in an HR zone within First Hill is eligible for extra residential floor area according to the provisions of this Section 23.45.516 to receive TDP from an eligible sending lot, subject to the limits and conditions in this Chapter 23.45 and Chapter 23.58A.
E.
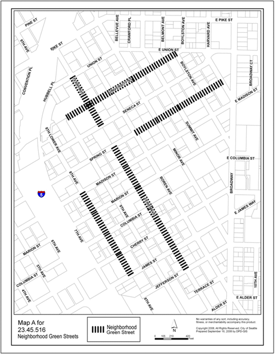
Neighborhood green street setback. Floor area may be gained for a neighborhood green street setback according to the provisions of Chapter 23.58A by development on lots abutting one of the streets or street segments within the First Hill Urban Village shown on Map A for 23.45.516.
F.
Neighborhood open space. In HR zones, subject to the limits in this Section 23.45.516 and Chapter 23.58A, extra residential floor area may be gained through a voluntary agreement to provide neighborhood open space , according to the provisions of Section 23.58A.040.
Map A for 23.45.516
Neighborhood Green Streets
(Ord. 127099, § 18, 2024; Ord. 126855, § 14, 2023; Ord. 125791, § 37, 2019; Ord. 125173, § 3, 2016; Ord. 125163, § 6, 2016; Ord. 124952, § 10, 2015; Ord. 124307, § 1, 2013; Ord. 124172, § 5, 2013; Ord. 123495, § 32, 2011; Ord. No. 123209, § 31, 2009.)
A.
LR zones
1.
Required setbacks for the LR zones are as shown in Table A for 23.45.518 and subsection 23.45.518.A.2.
2.
Upper-level setbacks in LR2 and LR3 zones
a.
An upper-level setback of 12 feet from the front lot line is required for all portions of a structure above the following height:
1)
Forty-four feet for zones with a height limit of 40 feet; and
2)
Fifty-four feet for zones with a height limit of 50 feet.
b.
An upper-level setback of 12 feet from each side or rear lot line that abuts a lot zoned neighborhood residential is required for all portions of the structure above 34 feet in height.
c.
Projections allowed in subsection 23.45.518.H are allowed in upper-level setbacks.
d.
Structures allowed in subsection 23.45.518.I are not allowed in upper-level setbacks.
e.
Rooftop features are not allowed in upper-level setback except as follows:
1)
A pitched roof, other than a shed roof or butterfly roof, is allowed in the upper-level setback if all parts of the roof are pitched at a rate of not less than 6:12 and not more than 12:12.
2)
Open railings may extend up to 4 feet above the height at which the setback begins.
3)
Parapets may extend up to 2 feet above the height at which the setback begins.
B.
MR zones
1.
Minimum setbacks for the MR zone are shown in Table B for 23.45.518 and subsection 23.45.518.B.2.
Exhibit A for 23.45.518
MR courtyard example
2.
Upper-level setbacks in MR zones
a.
For lots abutting a street that is less than 56 feet in width, all portions of the structure above 70 feet in height must be set back 15 feet from the front lot line abutting that street.
b.
Projections allowed in subsection 23.45.518.H are allowed in upper-level setbacks.
c.
Structures allowed in subsection 23.45.518.I are not allowed in upper-level setbacks.
d.
Rooftop features are not allowed in upper-level setback except as follows:
1)
Open railings may extend up to 4 feet above the height at which the setback begins.
2)
Parapets may extend up to 2 feet above the height at which the setback begins
C.
HR zones. Minimum setbacks for HR zones are shown in Table C for 23.45.518.
Exhibit B for 23.45.518
HR setbacks
D.
Through lots. In the case of a through lot, each setback abutting a street except a side setback shall be a front setback. Rear setback requirements shall not apply to the lot.
E.
Other setback requirements. Additional structure setbacks may be required in order to meet the provisions of Chapter 23.53, Requirements for Streets, Alleys, and Easements.
F.
Separations between multiple structures
1.
In LR and MR zones, the minimum required separation between principal structures at any two points on different interior facades is 10 feet, except for cottage housing developments, and principal structures separated by a driveway or parking aisle.
2.
In LR and MR zones, if principal structures are separated by a driveway or parking aisle, the minimum required separation between the principal structures is 2 feet greater than the required width of the driveway or parking aisle, provided that the separation is not required to be any greater than 24 feet. If principal structures are separated by a driveway or parking aisle, projections that enclose floor area may extend a maximum of 3 feet into the required separation if they are at least 8 feet above finished grade.
G.
Front and rear setbacks and all separations on lots containing certain environmentally critical areas or buffers may be reduced pursuant to Sections 25.09.280 and 25.09.300.
H.
Projections permitted in required setbacks and separations
1.
Cornices, eaves, gutters, roofs, and other forms of weather protection may project into required setbacks and separations a maximum of 4 feet if they are no closer than 3 feet to any lot line.
2.
Garden windows and other features that do not provide floor area may project a maximum of 18 inches into required setbacks and separations if they:
a.
Are a minimum of 30 inches above the finished floor;
b.
Are no more than 6 feet in height and 8 feet wide; and
c.
Combined with bay windows and other features with floor area, make up no more than 30 percent of the area of the facade.
3.
Bay windows and other features that provide floor area may project a maximum of 2 feet into required setbacks and separations if they:
a.
Are no closer than 5 feet to any lot line;
b.
Are no more than 10 feet in width; and
c.
Combined with garden windows and other features included in subsection 23.45.518.H.2, make up no more than 30 percent of the area of the facade.
4.
Unenclosed decks up to 18 inches above existing or finished grade, whichever is lower, may project into required setbacks or separations.
5.
Unenclosed porches or steps
a.
Unenclosed porches or steps no higher than 4 feet above existing grade, or the grade at the street lot line closest to the porch, whichever is lower, may extend to within 4 feet of a street lot line, except that portions of entry stairs or stoops not more than 2.5 feet in height from existing or finished grade, whichever is lower, excluding guard rails or hand rails, may extend to a street lot line. See Exhibit C for 23.45.518.
b.
Unenclosed porches or steps no higher than 4 feet above existing grade may project into the required rear setback or required separation between structures a maximum of 4 feet provided they are a minimum of 5 feet from a rear lot line.
c.
Unenclosed porches or steps permitted in required setbacks and separations shall be limited to a combined maximum width of 20 feet.
Exhibit C for 23.45.518
Setbacks for unenclosed porches
d.
Permitted porches or steps may be covered, provided that no portions of the cover-structure, including any supports, are closer than 3 feet to any lot line.
6.
Fireplaces and chimneys may project up to 18 inches into required setbacks or separations.
7.
Unenclosed decks and balconies may project a maximum of 4 feet into required setbacks if each one is:
a.
No closer than 5 feet to any lot line;
b.
No more than 20 feet wide; and
c.
Separated from other decks and balconies on the same facade of the structure by a distance equal to at least 1/2 the width of the projection.
8.
Mechanical equipment. Heat pumps and similar mechanical equipment, not including incinerators, are permitted in required setbacks if they comply with the requirements of Chapter 25.08. Any heat pump or similar equipment shall not be located within 3 feet of any lot line. Charging devices for electric cars are considered mechanical equipment and are permitted in required setbacks if not located within 3 feet of any lot line.
I.
Structures in required setbacks or separations, except upper-level setbacks
1.
Detached garages, carports, or other accessory structures are allowed in required separations and required rear or side setbacks, subject to the following requirements:
a.
Any accessory structure located between a principal structure and a side lot line shall provide the setback required for the principal structure;
b.
Any portion of an accessory structure located more than 25 feet from a rear lot line shall be set back at least 5 feet from the side lot line;
c.
Accessory structures shall be set back at least 7 feet from any lot line that abuts a street; and
d.
Accessory structures shall be separated by at least 3 feet from all principal structures, including the eaves, gutters, and other projecting features of the principal structure.
2.
Ramps or other devices necessary for access for the disabled and elderly that meet the Seattle Residential Code, Chapter 3, or Seattle Building Code, Chapter 11, Accessibility, are allowed in any required setback or separation.
3.
Uncovered, unenclosed pedestrian bridges, necessary for access and 5 feet or less in width, are allowed in any required setback or separation.
4.
Underground structures are allowed in any required setback or separation.
5.
Solar collectors are allowed in any required setback or separation, pursuant to the provisions of Section 23.45.545.
6.
Freestanding signs, bike racks, and similar unenclosed structures that are 6 feet or less in height above existing or finished grade, whichever is lower, are allowed in any required setback or separation, provided that signs meet the provisions of Chapter 23.55, Signs.
7.
Fences
a.
Fences no greater than 6 feet in height are allowed in any required setback or separation, except that fences in the required front setback extended to side lot lines or in street side setbacks extended to the front and rear lot lines may not exceed 4 feet in height. Fences located on top of a bulkhead or retaining wall are also limited to 4 feet. If a fence is placed on top of a new bulkhead or retaining wall used to raise grade, the maximum combined height is limited to 9.5 feet.
b.
Up to 2 feet of additional height for architectural features such as arbors or trellises on the top of a fence is allowed, if the architectural features are predominately open.
c.
Fence height may be averaged along sloping grades for each 6-foot-long segment of the fence, but in no case may any portion of the fence exceed 8 feet in height when the height allowed by subsection 23.45.518.I.7.a is 6 feet, or 6 feet in height when the height allowed by subsection 23.45.518.I.7.a is 4 feet.
8.
Bulkheads and retaining walls
a.
Bulkheads and retaining walls used to raise grade are allowed in any required setback if they are limited to 6 feet in height, measured above existing grade. A guardrail no higher than 42 inches may be placed on top of a bulkhead or retaining wall existing as of January 3, 1997.
b.
Bulkheads and retaining walls used to protect a cut into existing grade may not exceed the minimum height necessary to support the cut or 6 feet measured from the finished grade on the low side, whichever is greater. If the bulkhead is measured from the low side and it exceeds 6 feet, an open guardrail of no more than 42 inches meeting Seattle Residential Code or Seattle Building Code requirements may be placed on top of the bulkhead or retaining wall. Any fence shall be set back a minimum of 3 feet from such a bulkhead or retaining wall.
9.
Arbors are allowed in any required setback or separation under the following conditions:
a.
In each required setback or separation, an arbor may be erected with no more than a 40-square-foot footprint, measured on a horizontal roof plane inclusive of eaves, to a maximum height of 8 feet. At least 50 percent of both the sides and the roof of the arbor shall be open, or, if latticework is used, there shall be a minimum opening of 2 inches between crosspieces.
b.
In each required setback abutting a street, an arbor over a private pedestrian walkway with no more than a 30-square-foot footprint, measured on the horizontal roof plane and inclusive of eaves, may be erected to a maximum height of 8 feet. At least 50 percent of the sides of the arbor shall be open, or, if latticework is used, there shall be a minimum opening of 2 inches between crosspieces.
10.
Above-grade green stormwater infrastructure (GSI) features are allowed in any required setback or separation if:
a.
Each above-grade GSI feature is no more than 4.5 feet tall, excluding piping;
b.
Each above-grade GSI feature is no more than 4 feet wide; and
c.
The total storage capacity of all above-grade GSI features is no greater than 600 gallons.
11.
Above-grade GSI features larger than what is allowed in subsection 23.45.518.I.10 are allowed in any required setback or separation if:
a.
Above-grade GSI features do not exceed ten percent coverage of any one setback or separation area;
b.
No portion of an above-grade GSI feature is located closer than 2.5 feet from a side lot line; and
c.
No portion of an above-grade GSI feature projects more than 5 feet into a front or rear setback area.
12.
Mechanical equipment. Heat pumps and similar mechanical equipment, not including incinerators, are allowed in any required setback if they comply with the requirements of Chapter 25.08. No heat pump or similar equipment shall be located within 3 feet of any lot line. Charging devices for electric cars are considered mechanical equipment and are allowed in any required setbacks if not located within 3 feet of any lot line.
13.
Detached, unenclosed structures accessory to townhouses that are up to 8 feet in height and used exclusively for bike parking are allowed in any required setback or separation.
14.
Detached structures accessory to townhouses that are up to 10 feet in height and used exclusively for bike parking are allowed in required separations.
J.
Exceptions for existing structures
1.
In all multifamily zones, certain additions to a residential structure may extend into a required side setback if the structure is already nonconforming with respect to that setback, and if the presently nonconforming section is at least 60 percent of the total width of the respective facade of the structure prior to the addition. The line formed by the nonconforming wall of the structure shall be the limit to which any additions may be built, which may extend up to the height limit and may include basement additions (Exhibit D for 23.45.518), provided that additions shall be at least 3 feet from the side lot line.
2.
An existing single-family dwelling unit in a LR zone may be converted to a multifamily use without conforming to setback standards in subsection 23.45.518.A, provided that the building envelope is not changed. For the purposes of this subsection 23.45.518.J.2, "existing single-family dwelling unit" is one that was established under permit as of October 31, 2001, or for which a permit has been granted and the permit has not expired on October 31, 2001.
Exhibit D for 23.45.518
Permitted additions into required setbacks for existing single-family dwelling units
(Ord. 127219, § 20, 2025; Ord. 126685, § 22, 2022; Ord. 126682, § 3, 2022; Ord. 126509, § 61, 2022 [zone name change]; Ord. 126157, § 20, 2020; Ord. 125791, § 39, 2019; Ord. 125603, § 21, 2018; Ord. 125272, § 19, 2017; Ord. 124952, § 11, 2015; Ord. 124843, § 22, 2015; Ord. 124803, § 5, 2015; Ord. 124378, § 29, 2013; Ord. 123495, § 33, 2011; Ord. 123209, § 32, 2009.)
A.
For the purpose of this Section 23.45.520, a "tower" is any portion of a structure that exceeds 45 feet in height, excluding rooftop features permitted above the height limit. Rooftop features permitted above the height limit shall not be included in calculating the gross floor area per story and floor area coverage of a tower.
B.
If any proposed or existing structures in HR zones exceed a height of 85 feet, excluding rooftop features permitted above the height limit, all structures or portions of structures greater than 45 feet in height are subject to following standards:
1.
A structure may have one or more towers.
2.
The maximum width of an individual tower is 130 feet.
3.
The average gross floor area per story of an individual tower shall not exceed 10,000 square feet and the maximum gross floor area for any individual story of an individual tower shall not exceed 10,500 square feet.
4.
The average gross floor area per story of all towers on the lot shall not exceed 60 percent of the lot area.
5.
Where two or more towers are located on the lot, the minimum horizontal separation between proposed towers or between proposed and existing towers shall be 40 feet.
(Ord. 125791, § 40, 2019; Ord. 124378, § 30, 2013; Ord. 123649, § 19, 2011; Ord. No. 123209, § 34, 2009)
A.
Amount of amenity area
1.
The required amount of amenity area in LR zones is equal to 25 percent of the lot area.
2.
In LR zones, a minimum of 50 percent of the required amenity area shall be provided at ground level or within 4 feet of existing grade.
The required amount of amenity area in MR and HR zones is equal to five percent of the total gross floor area of a residential structure
B.
General requirements. Required amenity areas shall meet the following conditions:
1.
All units shall have access to a common or private amenity area.
2.
Enclosed amenity areas
a.
In LR zones, an amenity area shall not be enclosed within a structure.
b.
In MR and HR zones, no more than 50 percent of the amenity area may be enclosed, and this enclosed area shall be provided as common amenity area.
3.
Projections into amenity areas. Structural projections that do not provide floor area, such as garden windows, may extend up to 2 feet into an amenity area if they are at least 8 feet above finished grade.
4.
Private amenity areas
a.
There is no minimum dimension for private amenity areas, except that if a private amenity area is located between the structure and a side lot line that is not a side street lot line, the minimum horizontal dimension shall be measured from the side lot line and is required to be a minimum of 10 feet.
b.
An unenclosed porch that is a minimum of 60 square feet in size and that faces a street or a common amenity area may be counted as part of the private amenity area for the residential structure to which it is attached.
5.
Common amenity areas shall meet the following conditions:
a.
No common amenity area shall be less than 250 square feet in area, and common amenity areas shall have a minimum horizontal dimension of 10 feet.
b.
Common amenity areas shall be improved as follows:
1)
At least 50 percent of a common amenity area provided at ground level shall be landscaped with grass, ground cover, bushes, bioretention facilities, and/or trees.
2)
Elements that enhance the usability and livability of the space for residents, such as seating, outdoor lighting, weather protection, art, or other similar features, shall be provided.
c.
The common amenity area at ground level shall be accessible to all dwelling units.
6.
Parking areas, vehicular access easements, and driveways do not qualify as amenity areas, except that a woonerf may provide a maximum of 50 percent of the amenity area if the design of the woonerf is approved through a design review process pursuant to Chapter 23.41.
7.
Swimming pools, spas, and hot tubs may be counted toward meeting the amenity area requirement.
8.
Rooftop areas excluded because they are near minor communication utilities and accessory communication devices, pursuant to subsection 23.57.011.C.1, do not qualify as amenity areas.
C.
No amenity area is required for one dwelling unit added to a residential structure existing as of January 1, 1982, provided that no dwelling units have been added since that date.
(Ord. 127219, § 21, 2025; Ord. 126157, § 21, 2020; Ord. 125791, § 41, 2019; Ord. 124952, § 12, 2015; Ord. 124378, § 31, 2013; Ord. 123495, § 34, 2011; Ord. 123209, § 36, 2009.)
A.
Landscaping requirements
1.
Standards. All landscaping provided to meet requirements under this Section 23.45.524 shall meet standards promulgated by the Director to provide for the long-term health, viability, and coverage of plantings. These standards may include, but are not limited to, the type and size of plants, number of plants, spacing of plants, depth and quality of soil, use of drought-tolerant plants, and access to light and air for plants.
2.
Green Factor requirement
a.
Landscaping that achieves a Green Factor score of 0.6 or greater, determined as set forth in Section 23.86.019, is required for any lot within an LR zone if construction of more than one new dwelling unit or a congregate residence is proposed on the site. The addition of any new dwelling unit that does not increase the floor area on the site is exempt from the Green Factor requirement.
b.
Landscaping that achieves a Green Factor score of 0.5 or greater, determined as set forth in Section 23.86.019, is required for any lot within an MR or HR zone if construction of more than one new dwelling unit or a congregate residence is proposed on the site. The addition of any new dwelling unit that does not increase the floor area on the site is exempt from the Green Factor requirement.
B.
Street tree requirements.
1.
Street trees are required if any type of development is proposed, except as provided in subsection 23.45.524.B.2 and B.3 below and Section 23.53.015. Existing street trees shall be retained unless the Director of the Seattle Department of Transportation approves their removal. The Director, in consultation with the Director of the Seattle Department of Transportation, shall determine the number, type, and placement of additional street trees to be provided in order to:
a.
improve public safety;
b.
promote compatibility with existing street trees;
c.
match trees to the available space in the planting strip;
d.
maintain and expand the urban forest canopy;
e.
encourage healthy growth through appropriate spacing;
f.
protect utilities; and
g.
allow access to the street, buildings and lot.
2.
Exceptions to street tree requirements.
a.
If a lot borders an unopened right-of-way, the Director may reduce or waive the street tree requirement along that right-of-way as a Type I decision if, after consultation with the Director of the Seattle Department of Transportation, the Director determines that the right-of-way is unlikely to be opened or improved.
b.
Street trees are not required for any of the following:
1)
changing a use
2)
expanding a structure by 1,000 square feet or less;
3)
expanding surface parking by less than 10 percent in area and less than 10 percent in number of spaces; or
4)
establishing a temporary or intermittent use pursuant to Section 23.42.040.
c.
If an existing structure is proposed to be expanded by more than 1,000 square feet, one street tree is required for each 500 square feet over the first 1,000 square feet of additional structure, up to the maximum number of trees that would be required for new construction.
3.
If it is not feasible to plant street trees in a right-of-way planting strip, a 5 foot setback shall be planted with street trees along the street lot line, or landscaping other than trees shall be provided in the planting strip, subject to approval by the Director of the Seattle Department of Transportation. If, according to the Director of the Department of Transportation, a 5 foot setback or landscaped planting strip is not feasible, the Director may reduce or waive this requirement as a Type I decision.
(Ord. 126685, § 23, 2022; Ord. 125272, § 20, 2017; Ord. 124608, § 7, 2014; Ord. 123495, § 35, 2011; Ord. No. 123209, § 38, 20090
A.
Structure width in LR zones may not exceed 90 feet in LR1 and LR2 zones and 150 feet in LR3 zones.
B.
Maximum façade length in Lowrise zones. The maximum combined length of all portions of façades within 15 feet of a lot line that is neither a rear lot line nor a street or alley lot line shall not exceed 65 percent of the length of that lot line.
(Ord. 127219, § 22, 2025; Ord. 126509, § 62, 2022 [zone name change]; Ord. 123495, § 37, 2011.)
The width and depth limits of this Section 23.45.528 apply to lots greater than 9,000 square feet in MR zones.
A.
The width of each principal structure shall not exceed 150 feet.
B.
Structure depth
1.
The depth of each principal structure shall not exceed 80 percent of the depth of the lot, except as provided in subsection 23.45.528.B.2.
2.
Exceptions to structure depth limit. To allow for front setback averaging and courtyards as provided in Section 23.45.518, structure depth may exceed the limit set in subsection 23.45.528.B.1 if the total lot coverage resulting from the increased structure depth does not exceed the lot coverage that would have otherwise been allowed without use of the courtyard or front setback averaging provisions.
(Ord. 127099, § 19, 2024; Ord. 125791, § 42, 2019; Ord. 125272, § 21, 2017; Ord. 123495, § 38, 2011; Ord. No. 123209, § 29, 2009.)
A.
Intent. The intent of the design standards in this Section 23.45.529 is to:
1.
Enhance street-facing and side facades to provide visual interest, promote new development that contributes to an attractive streetscape, and avoid the appearance of blank walls along a street or adjacent residential property;
2.
Foster a sense of community by integrating new pedestrian-oriented multifamily development with the neighborhood street environment and promoting designs that allow easy surveillance of the street by area residents;
3.
Promote livability in multifamily areas by providing a sense of openness and access to light and air; and
4.
Encourage the compatibility of a variety of housing types with the scale and character of neighborhoods where new multifamily development occurs.
B.
Application of provisions. The provisions of this Section 23.45.529 apply to all residential uses that do not undergo any type of design review pursuant to Chapter 23.41.
C.
Treatment of street-facing facades. For the purposes of this subsection 23.45.529.C, a street-facing facade includes all vertical surfaces enclosing interior space, including gables and dormers, as shown in Exhibit A for 23.45.529.
Exhibit A for 23.45.529
Measurement of facades
D.
Facade openings
1.
At least 20 percent of the area of each street-facing facade shall consist of windows and/or doors, except as provided in subsection 23.45.529.D.2. If a front and side facade are street-facing, the two facades may be combined for the purpose of this calculation.
2.
For any rowhouse or townhouse dwelling unit that has both a front and a side facade that are street-facing, the percentage of the side street-facing facade required to consist of windows and/or doors is reduced to ten percent for the portion of the facade associated with that dwelling unit. This reduction to ten percent is not allowed if the facades are combined for the purpose of this standard pursuant to subsection 23.45.529.D.1.
3.
Windows count toward the requirement for facade openings in this subsection 23.45.529.D only if they are transparent. Windows composed of glass blocks or opaque glass, garage doors, and doors to utility and service areas do not count.
E.
Treatment of side facades that are not street-facing. For the purposes of this subsection 23.45.529.D, a side facade that is not street-facing includes all vertical surfaces enclosing interior space, including gables and dormers, as shown in Exhibit A for 23.45.529, if located within 10 feet of a side lot line. If the side facade of a structure that is not street-facing exceeds 1,000 square feet in area, one of the following must be met:
1.
A portion of the side facade with a minimum area of 250 square feet and a maximum area of 750 square feet shall project or be recessed from abutting facade planes by a minimum depth of 18 inches; or
2.
The side facade shall include vertical or horizontal variations in building materials or color, covering a minimum of 25 percent of the facade surface.
F.
Pedestrian access. Each dwelling unit shall have pedestrian access at least 3 feet in width to the sidewalk or, if no sidewalk exists, the front lot line. This pedestrian access may be shared or private. This pedestrian access may cross any required setbacks or interior separation. The pedestrian access may be part of a driveway.
G.
Entrances. Each structure with a street-facing facade shall have a pedestrian entry on that street-facing facade meeting the following:
1.
For apartments, at least one pedestrian entry shall be required for the structure as a whole.
2.
For single-family dwelling units, cottage housing, rowhouses, and townhouses, each individual dwelling unit with a street-facing facade within 40 feet of the street lot line shall have at least one pedestrian entry on the street-facing facade.
3.
For structures or dwelling units on corner lots, a pedestrian entry is required on only one of the street-facing facades.
4.
Required pedestrian entry on street-facing facades shall have weather protection, such as a covered porch, canopy, recessed entry or similar feature, measuring at least 3 feet by 3 feet in width and depth for attached and detached dwelling units and at least 6 feet in width and 4 feet in depth for stacked dwelling units.
5.
For attached and detached dwelling units, the pedestrian entry may be located on a wall perpendicular to the street-facing facade provided that the pedestrian entry abuts a covered porch or recessed entry that is a portion of the street-facing facade.
(Ord. 127219, § 23, 2025; Ord. 127099, § 20, 2024; Ord. 126685, § 24, 2022; Ord. 125791, § 43, 2019; Ord. 124843, § 24, 2015; Ord. 124378, § 33, 2013; Ord. 123495, § 39, 2011)
For projects exceeding the floor area ratio (FAR) in Table A for 23.45.530, the applicant shall make a commitment that the proposed development will meet the green building standard and shall demonstrate compliance with that commitment, all in accordance with Chapter 23.58D.
(Ord. 125791, § 44, 2019.)
A.
Size limit for dwelling units.
1.
The maximum gross floor area of each cottage in a cottage housing development is 950 square feet.
2.
The maximum gross floor area of a carriage house is 600 square feet.
B.
Size limit for garages. The maximum gross floor area for a shared garage structure in a cottage housing development is 1,200 square feet, and the garage shall contain no more than four parking spaces.
C.
Carriage house structures. A carriage house structure is permitted in a cottage housing development subject to the following standards:
1.
The maximum number of dwelling units permitted in carriage house structures is one-third of the total number of units in the cottage housing development on the lot.
2.
The maximum gross floor area of the ground floor of a carriage house structure is 1,200 square feet.
D.
Existing single-family dwelling units in a cottage housing development. Existing single-family dwelling units that are non-conforming with respect to the standards for a cottage housing development are permitted to remain, provided that the extent of the nonconformity shall not be increased.
(Ord. 123495, § 41, 2011)
A.
All ground-floor commercial uses permitted pursuant to Section 23.45.504, except medical service uses permitted pursuant to Section 23.45.506, shall meet the following conditions:
1.
Structures with ground floor commercial uses in zones that include an RC designation shall comply with Chapter 23.46.
2.
The commercial use is permitted only on the ground floor of a structure that contains at least one dwelling unit. On sloping lots, the commercial use may be located at more than one level within the structure as long as the floor area in commercial use does not exceed the area of the structure's footprint.
3.
The maximum size of use of any one business establishment is 4,000 square feet, except as follows:
a.
the maximum size of use of a multi-purpose retail sales establishment is 10,000 square feet; and
b.
the maximum size of a medical service use located in the Northgate Urban Center is 10,000 square feet.
4.
Vents for venting of odors, vapors, smoke, gas and fumes, and exterior heat exchangers and other similar devices (e.g., related to ventilation, air-conditioning, refrigeration) shall be at least 10 feet above finished sidewalk grade, and directed away to the extent possible from residential uses within 50 feet of the vent.
B.
No loading berths are required for ground-floor commercial uses. If provided, loading berths shall be located so that access to residential parking is not blocked.
C.
Identifying business signs are permitted pursuant to Chapter 23.55, Signs.
(Ord. 125791, § 45, 2019; Ord. 124843, § 25, 2015; Ord. 124378, § 34, 2013; Ord. 123939, § 9, 2012; Ord. 123209, § 40, 2009).
A.
Exterior lighting shall be shielded and directed away from adjacent properties.
B.
Interior lighting in parking garages shall be shielded to minimize nighttime glare on adjacent properties.
C.
To prevent vehicle lights from affecting adjacent properties, driveways and parking areas for more than two vehicles shall be screened from abutting properties by a fence or wall between 5 feet and 6 feet in height, or a solid evergreen hedge or landscaped berm at least 5 feet in height. If the elevation of the lot line is different from the finished elevation of the driveway or parking surface, the difference in elevation may be measured as a portion of the required height of the screen so long as the screen itself is a minimum of 3 feet in height. The Director may waive the requirement for the screening if it is not needed due to changes in topography, agreements to maintain an existing fence, or the nature and location of adjacent uses.
(Ord. 123495, § 42, 2011; Ord. No. 123209, § 41, 2009.)
A.
Off-street parking spaces are required to the extent provided in Chapter 23.54.
B.
Location of parking
1.
If parking is required, it shall be located on the same lot as the use requiring the parking, except as otherwise provided in this subsection 23.45.536.B.
2.
Surface parking
a.
Except as otherwise provided in this subsection 23.45.536.B, surface parking may be located anywhere on a lot except:
1)
In the required front setback;
2)
In the required side street side setback as extended from side lot line to side lot line; and
3)
Within 20 feet of any street lot line.
b.
If access is taken directly from an alley, surface parking may be located anywhere within 28 feet from an alley lot line provided it is no closer than 7 feet to any street lot line. Additionally, for lots with only alley frontage, surface parking may be located within the front setback.
3.
Parking in a structure. Parking may be located in a structure or under a structure, provided that no portion of a garage that is higher than 4 feet above existing or finished grade, whichever is lower, shall be closer to a street lot line than any part of the street-level, street-facing facade of the structure in which it is located.
4.
On a through lot, parking may be located between the structure and one front lot line. The front setback in which the parking may be located will be determined by the Director based on the prevailing character and setback patterns of the block.
5.
On waterfront lots in the Shoreline District, parking may be located between the structure and the front lot line, if necessary to prevent blockage of view corridors or to keep parking away from the edge of the water, as required by Chapter 23.60A, Shoreline Master Program Regulations.
6.
Parking that is required and accessory to a residential or non-residential use may be located on a lot within 800 feet of the lot where the use that requires the parking is located, provided that:
a.
The lot is not located in a neighborhood residential zone; and
b.
The requirements of Section 23.54.025 for required parking are met.
C.
Access to parking
1.
Alley access required. Except as otherwise expressly required or permitted in subsections 23.45.536.C or 23.45.536.D, access to parking shall be from the alley if the lot abuts an alley and one of the conditions in this subsection 23.45.536.C.1 is met:
a.
The alley is improved to the standards of subsection 23.53.030.C; or
b.
The Director determines that alley access is feasible and desirable to mitigate parking access impacts, improve public safety, and/or maintain on-street parking capacity.
2.
Street access required. Access to parking shall be from the street if:
a.
The lot does not abut an alley.
b.
The lot abuts an alley, and the Director determines that the alley should not be used for access for one or more of the following reasons:
1)
Due to the relationship of the alley to the street system, use of the alley for parking access would create a significant safety hazard;
2)
Topography makes alley access infeasible; or
3)
The alley is on the uphill side of a steeply sloping lot, and the following conditions are met:
a)
Access from the street is to a common parking garage in or under the structure, located a maximum of 4 feet above grade.
b)
The siting of development results in an increased Green Factor score, larger ground-level amenity areas, and/or reduced surface parking area than if alley access is used.
3.
On corner lots, if street access is permitted pursuant to subsection 23.45.536.C.2, the applicant may determine the street from which access is taken, unless the Director determines that the use of the street chosen by the applicant would create a significant safety hazard.
4.
On steeply sloping lots, the Director may permit the use of both an alley and a street for access, provided that the following conditions are met:
a.
Access from the street is to a common parking garage in or under the structure, that is underground or extends no more than 4 feet above grade.
b.
The siting of development results in an increased Green Factor score, larger ground-level amenity areas, and/or reduced surface parking area than if alley access alone is used.
5.
Access to required barrier-free parking spaces that meet the standards in the Seattle Residential Code, Section R320, or the Seattle Building Code, Chapter 11, may be from the street where alley access would otherwise be required if providing access from an alley would reduce accessibility to a dwelling unit for persons with disabilities.
6.
If the alley is used for access, the alley shall be improved according to the standards in subsections 23.53.030.E and 23.53.030.F.
7.
If the lot does not abut an improved alley or street, access may be permitted from an easement that meets the provisions of Chapter 23.53, Requirements for Streets, Alleys, and Easements.
8.
If street access is required, either:
a.
Driveways that provide access from the street to garages opening on a street-facing facade of individual townhouse or rowhouse units shall be paved with permeable materials; or
b.
Access to a majority of garages opening on street-facing facades of individual townhouse or rowhouse units shall be provided by shared driveways.
D.
Screening of parking
1.
Parking shall be screened from direct street view by:
a.
The street-facing facade of a structure;
b.
Garage doors;
c.
A fence or wall; or
d.
Landscaped areas, including bioretention facilities or landscaped berms.
2.
Screening provided by a fence, wall, or vegetation in a landscaped area shall not be located within any required sight triangle and shall meet the following conditions:
a.
The fence, wall, or vegetation in the landscaped area shall be at least 3 feet tall measured from the elevation of the curb, or from the elevation of the street if no curb is present. If the elevation of the ground at the base of the fence, wall, or landscaped area is higher than the finished elevation of the parking surface, the difference in elevation may be measured as a portion of the required height of the screen, so long as the fence, wall, or vegetation in the landscaped area is at least 3 feet in height. If located in a setback, the fence or wall shall meet the requirements of subsection 23.45.518.I.7.
b.
The fence, wall, or vegetation in the landscaped area shall be set back at least 3 feet from the lot line.
3.
Screening by garage doors in LR zones. If parking is provided in a garage in or attached to a principal structure and garage door(s) face a street, the garage door(s) may be no more than 75 square feet in area.
E.
Other provisions. Garage doors in LR zones and MR zones facing the street shall be set back at least 18 feet from the street lot line, and shall be no closer to the street lot line than the street-facing facade of the structure.
(Ord. 126682, § 4, 2022; Ord. 126509, § 63, 2022 [zone name change]; Ord. 125791, § 46, 2019; Ord. 125603, § 22, 2018; Ord. 125558, § 9, 2018; Ord. 125272, § 22, 2017; Ord. 124952, § 13, 2015; Ord. 124843, § 26, 2015; Ord. 124378, § 35, 2013; Ord. 124105, § 21, 2013; Ord. 123495, § 43, 2011; Ord. 123209, § 43, 2009)
A.
Private, permanent swimming pools, hot tubs and other similar uses are permitted in any required setback, provided that:
1.
No part of any swimming pools, hot tubs and other similar uses shall project more than 18 inches above existing grade in a required front setback; and
2.
No swimming pool shall be placed closer than 5 feet to any front or side lot line.
B.
Solar greenhouses, greenhouses and solariums
1.
Solar greenhouses, greenhouses and solariums, in each case that are attached to and integrated with the principal structure and no more than 12 feet in height are permitted in a required rear setback, subject to subsection 23.45.545.B.3, and may extend a maximum of 6 feet into required front and side setbacks, subject to subsection 23.45.545.B.2.
2.
An attached solar greenhouse, greenhouse or solarium, in a required setback, shall be no closer than 3 feet from side lot lines and 8 feet from front lot lines.
3.
A solar greenhouse, greenhouse or solarium allowed pursuant to subsection 23.45.545.B.1 shall not be closer than 5 feet to the rear lot line, except that it may abut an alley if it is no taller than 10 feet along the rear lot line, is of no greater average height than 12 feet for a depth of 15 feet from the rear lot line, and is no wider than 50 percent of lot width for a depth of 15 feet from the rear lot line.
C.
Solar collectors
1.
Solar collectors are permitted in required setbacks, subject to the following:
a.
Detached solar collectors are permitted in required rear setbacks, no closer than 5 feet to any other principal or accessory structure.
b.
Detached solar collectors are permitted in required side setbacks, no closer than 5 feet to any other principal or accessory structure, and no closer than 3 feet to the side lot line.
2.
Sunshades that provide shade for solar collectors that meet minimum written energy conservation standards administered by the Director may project into southern front or rear setbacks. Those that begin at 8 feet or more above finished grade may be no closer than 3 feet from the lot line. Sunshades that are between finished grade and 8 feet above finished grade may be no closer than 5 feet to the lot line.
3.
Solar collectors on roofs. Solar collectors that are located on a roof are permitted as follows:
a.
In LR zones up to 4 feet above the maximum height limit or 4 feet above the height of stair or elevator penthouse(s), whichever is higher; and
b.
In MR and HR zones up to 10 feet above the maximum height limit or 10 feet above the height of stair or elevator penthouse(s), whichever is higher.
c.
If the solar collectors would cause an existing structure to become nonconforming, or increase an existing nonconformity, the Director may permit the solar collectors as a special exception pursuant to Chapter 23.76. Solar collectors may be permitted under this subsection 23.45.545.C.3.c even if the structure exceeds the height limits established in this subsection 23.45.545.C.3, if the following conditions are met:
1)
There is no feasible alternative solution to placing the collector(s) on the roof; and
2)
The collector(s) are located so as to minimize view blockage from surrounding properties and the shading of property to the north, while still providing adequate solar access for the solar collectors.
D.
[Reserved.]
E.
Nonconforming solar collectors. The Director may permit the installation of solar collectors that meet minimum energy standards and that increase an existing nonconformity as a special exception pursuant to Chapter 23.76. Such an installation may be permitted even if it exceeds the height limits established in Section and 23.45.514 when the following conditions are met:
1.
There is no feasible alternative solution to placing the collector(s) on the roof; and
2.
Such collector(s) are located so as to minimize view blockage from surrounding properties and the shading of property to the north, while still providing adequate solar access for the solar collectors.
F.
Open wet moorage facilities for residential uses are permitted as an accessory use pursuant to Chapter 23.60A, Shoreline District, if only one slip per residential unit is provided.
G.
Bed and breakfast uses. A bed and breakfast use may be operated under the following conditions:
1.
The bed and breakfast use has a valid business license tax certificate issued by the Department of Finance and Administrative Services;
2.
All operators of bed and breakfast uses who use a short-term rental platform for listing the bed and breakfast shall have a valid short-term rental operator's license issued by the Department of Finance and Administrative Services.
3.
The bed and breakfast use shall be operated by the primary resident of the dwelling unit where the bed and breakfast is located or the resident operator;
4.
There shall be no evidence of a bed and breakfast use visible from the exterior of the dwelling unit other than a sign permitted by subsection 23.55.022.D.1; and
5.
A bed and breakfast use may be located in a dwelling unit or an accessory dwelling unit.
H.
Heat recovery incinerators, located on the same lot as the principal use, may be permitted by the Director as accessory administrative conditional uses, pursuant to Section 23.45.506.
I.
Accessory dwelling units are allowed pursuant to Section 23.42.022.
J.
Urban farms are subject to the standards in Section 23.42.051 and the conditional use requirement in subsection 23.45.504.C.8.
(Ord. 127211, § 14, 2025; Ord. 127099, § 21, 2024; Ord. 126600, § 4, 2022; Ord. 126157, § 22, 2020; Ord. 125854, § 6, 2019; Ord. 125791, § 47, 2019; Ord. 125603, § 23, 2018; Ord. 125483, § 4, 2017; Ord. 124378, § 36, 2013; Ord. 124105, § 22, 2013; Ord. 123939, § 10, 2012; Ord. 123495, § 44, 2011; Ord. 123378, § 15, 2010; Ord. 123209, § 45, 2009.)
In lieu of meeting development standards contained in subsections 23.45.510.B and 23.45.510.C (floor area), subsections 23.45.512.A and 23.45.512.B (density), and subsections 23.45.514.A and 23.45.514.B (height), a proposed development that meets the requirements of Section 23.42.055 may elect to meet the alternative development standards in this Section 23.45.550.
A.
Floor area
1.
Development permitted pursuant to Section 23.42.055 is subject to the FAR limits as shown in Table A for 23.45.550.
2.
In addition to the FAR exemptions in subsection 23.45.510.D, an additional FAR exemption up to the total amount specified in Table A for 23.45.550 is allowed for any combination of the following floor area:
a.
Floor area in units with two or more bedrooms and a minimum net unit area of 850 square feet;
b.
Floor area of a religious facility; and
c.
Floor area in a structure designated as a Landmark pursuant to Chapter 25.12; and
d.
Any floor area in a development located within 1/4 mile (1,320 feet) of a transit stop or station served by a frequent transit route as defined in subsection 23.54.015.B.4.
3.
Split-zoned lots
a.
On lots located in two or more zones, the FAR limit for the entire lot shall be the highest FAR limit of all zones in which the lot is located, provided that:
1)
At least 65 percent of the total lot area is in the zone with the highest FAR limit;
2)
No portion of the lot is located in a neighborhood residential zone; and
3)
A minimum setback of 10 feet applies for any lot line that abuts a lot in a neighborhood residential zone.
b.
For the purposes of this subsection 23.45.550.A.3, the calculation of the percentage of a lot or lots located in two or more zones may include lots that abut and are in the same ownership at the time of the permit application.
B.
Maximum height
1.
Development permitted pursuant to Section 23.42.055 is subject to the height limits as shown in Table B for 23.45.550.
2.
Split-zoned lots
a.
On lots located in two or more zones, the height limit for the entire lot shall be the highest height limit of all zones in which the lot is located, provided that:
1)
At least 65 percent of the total lot area is in the zone with the highest height limit;
2)
No portion of the lot is located in a neighborhood residential zone; and
3)
A minimum setback of 10 feet applies for any lot line that abuts a lot in a neighborhood residential zone.
b.
For the purposes of this subsection 23.45.550.B.2, the calculation of the percentage of a lot or lots located in two or more zones may include lots that abut and are in the same ownership at the time of the permit application.
C.
Density limits. Development permitted pursuant to this Section 23.45.550 is not subject to the standards of subsections 23.45.512.A and 23.45.512.B.
(Ord. 126855, § 1, 2023 [amended title]; Ord. 126509, § 64, 2022 [zone name change]; Ord. 126384, § 6, 2021.)
A.
General provisions
1.
The establishment of new institutions, such as religious facilities, community centers, private schools, and child care centers in multifamily zones, is permitted pursuant to Section 23.45.504.
2.
Public schools are permitted as regulated in Chapter 23.51B.
3.
If the expansion of an existing institution meets all development standards of this Section 23.45.570, it is permitted outright. Expansions not meeting development standards may be permitted as administrative conditional uses subject to the requirements of Section 23.45.506. Structural work that does not increase usable floor area or seating capacity and does not exceed the height limit is not considered expansion. Such work includes but is not limited to roof repair or replacement, and construction of uncovered decks and porches, bay windows, dormers, and eaves. The establishment of a child care center in a legally established institution devoted to the care or instruction of children or establishment of a shelter for homeless youths and young adults in a legally established institution devoted to the care or instruction of children, are not considered new uses or an expansion of the institutional use, if shelter occupants are enrolled students of the institution and if these uses do not require expansion of the existing structure or violate any condition of approval of the existing institutional use.
4.
The provisions of this Chapter 23.45 apply to Major Institution uses as provided in Chapter 23.69, Major Institution Overlay District.
B.
Institutions located in LR zones shall meet the development standards of this Section 23.45.570. Institutions located in MR and HR zones shall meet the development standards of the zone, and shall also meet the standards for parking, dispersion, and odors in subsections G, J, and H of this Section 23.45.570.
C.
Height limits in Lowrise zones.
1.
The height limit for institutions shall be the height limit for apartments in the applicable zone, except as provided in this subsection 23.45.570.C.
2.
In LR1 and LR2 zones, for gymnasiums, auditoriums, and wood shops that are accessory to an institution, the maximum permitted height is 35 feet if all portions of the structure above the height limit of the zone are set back at least 20 feet from all lot lines. Pitched roofs on the auditorium, gymnasium or wood shop with a slope of not less than 4:12 may extend 10 feet above the 35-foot height limit. No portion of a shed roof on a gymnasium, auditorium or wood shop is permitted to extend beyond 35 feet.
3.
In LR3 zones, pitched roofs on an auditorium, gymnasium, or wood shop with a slope of not less than 4:12 may extend 10 feet above the height limit, except that no portion of a shed roof is permitted to extend beyond the height limit.
D.
Structure width in Lowrise zones.
1.
The maximum permitted width for structures in institutional use in Lowrise zones is as shown in Table A for 23.45.570.
2.
In order to achieve the maximum width permitted in each zone, institutional structures are required to reduce the appearance of bulk by providing landscaping that achieves a Green Factor score of .5 or greater, pursuant to the standards set forth in Section 23.86.019.
E.
Structure Depth in Lowrise zones. The maximum permitted depth of institutional structures is 65 percent of lot depth.
F.
Setback requirements in LR zones
1.
Front setback. The average front setback is 10 feet, and the minimum front setback is 5 feet.
2.
Rear setback. The minimum rear setback is 10 feet.
3.
Side setback
a.
The minimum side setback is 5 feet.
b.
If the depth of a structure exceeds 65 feet, an additional side setback is required for that portion of the structure in excess of 65 feet, according to Table B for 23.45.570. In lieu of providing the additional setback for the portion of the structure in excess of 65 feet deep, a lesser side setback may be provided for the portion in excess of 65 feet deep if the average setback for the entire structure is no less than the average of the setback required by subsection 23.45.570.F.3.a and the setback required under Table B for 23.45.570.
4.
Setbacks for specific items. The following shall be located at least 20 feet from any abutting residentially zoned lot:
a.
Emergency entrances;
b.
Main entrance door of the institutional structure;
c.
Operable window of gymnasium, assembly hall, or sanctuary;
d.
Garbage and trash disposal mechanism;
e.
Kitchen ventilation;
f.
Air-conditioning or heating mechanism;
g.
Similar mechanisms and features causing noise and/or odors as determined by the Director.
5.
Accessory structures and projections from principal structures are allowed in required setbacks on lots developed with institutional uses to the same extent that those accessory structures or projections would be allowed for apartments in the zone, except that no accessory structures other than freestanding walls, fences, bulkheads, or similar structures shall be closer than 10 feet to a side lot line abutting another lot in a residential zone.
G.
Parking
1.
Parking quantity. Parking and loading is required pursuant to Section 23.54.015, except as modified by Section 23.54.020.
2.
Location of parking. Parking areas and facilities may be located anywhere on the lot except in the required front setback or side street side setback.
3.
Screening of surface parking areas. Surface parking areas for more than five vehicles shall be screened in accordance with the following requirements and the provisions of Section 23.45.524.
a.
Screening shall be provided on each side of the parking area that abuts, or faces across a street, alley, or access easement, a lot in a residential zone.
b.
Screening shall consist of a fence, solid evergreen hedge or wall between 4 and 6 feet in height. Sight triangles must be provided. Fences surrounding sports fields/recreation areas may be 8 feet high. The Director may permit higher fencing when necessary for sports fields.
c.
The height of the visual barrier created by the screen required in subsection 23.45.570.G.3 shall be measured from street level. If the elevation of the lot line is different from the finished elevation of the parking surface, the difference in elevation may be measured as a portion of the required height of the screen, so long as the screen itself is a minimum of 3 feet in height.
4.
Landscaping of surface parking. Accessory surface parking areas for more than 20 vehicles shall be landscaped according to the following requirements:
a.
One tree per every five parking spaces is required.
b.
Each required tree shall be planted in a landscaped area and shall be 3 feet away from any curb of a landscaped area or edge of the parking area. Permanent curbs or structural barriers shall protect landscaping, but may include openings to allow movement of stormwater.
c.
Hardy evergreen ground cover shall be planted to cover each landscaped area.
d.
The trees and landscaped areas shall be located within the parking area to break up large expanses of pavement and cars.
H.
Odors. The venting of odors, vapors, smoke, cinders, dust, gas and fumes shall be at least ten feet above finished sidewalk grade, and directed away to the extent possible from residential uses within 50 feet of the vent.
I.
Light and Glare.
1.
Exterior lighting for institutions shall be shielded or directed away from principal structures on adjacent residential lots.
2.
Poles for freestanding exterior lighting are permitted up to a maximum height of 30 feet. Light poles for illumination of athletic fields on new and existing public school sites will be allowed to exceed 30 feet pursuant to Chapter 23.51B, Public schools.
J.
Dispersion. The lot line of any new or expanding institution other than child care centers shall be located 600 feet or more from any lot line of any other institution in a residential zone with the following exceptions:
1.
An institution may expand even though it is within 600 feet of a public school if the public school is constructed on a new site subsequent to December 12, 1985.
2.
A proposed institution may be located less than 600 feet from a lot line of another institution if the Director determines that the intent of dispersion is achieved due to the presence of physical elements such as bodies of water, large open spaces or topographical breaks, or other elements such as arterials, freeways, or nonresidential uses, that provide substantial separation from other institutions.
(Ord. 126858, § 3, 2023; Ord. 126131, § 5, 2020; Ord. 125603, § 24, 2018; Ord. 125558, § 10, 2018; Ord. 125272, § 23, 2017; Ord. 124843, § 27, 2015; Ord. 124378, § 37, 2013; Ord. 123495, § 45, 2011; Ord. 123209, § 48, 2009.)
A.
In addition to the requirements of subsection 23.45.574.B, assisted living facilities are subject to the development standards for apartments for the zone in which they are located, except that density limits and amenity area requirements do not apply to assisted living facilities.
B.
Other requirements
1.
Facility kitchen. An on-site kitchen that serves the entire assisted living facility is required.
2.
Communal area. Communal areas that are either interior or exterior spaces, such as solariums, decks and porches, recreation rooms, dining rooms, living rooms, foyers and lobbies, and gardens or other outdoor landscaped areas shall be provided as follows:
a.
The total amount of communal area shall, at a minimum, equal 5 percent of the total floor area in assisted living units, or 25 percent of the lot area, whichever is less. In calculating the total floor area in assisted living units, all of the area of each unit, excluding the bathroom, is counted, including counters, closets and built-ins;
b.
Service areas, including, but not limited to, the facility kitchen, laundry, hallways and corridors, supply closets, operations and maintenance areas, staff areas and offices, and rooms used only for counseling or medical services, shall not be counted as required communal area;
c.
A minimum of 400 square feet of the required communal area shall be provided as an outdoor area with a minimum dimension of 10 feet. Outdoor areas provided as required communal area shall be accessible to people with disabilities; and
d.
Adequate seating for residents and guests shall be provided in required communal areas.
(Ord. 124172, § 6, 2013; Ord. 123495, § 46, 2011; Ord. No. 123209, § 49, 2009.)
A.
The establishment of new or expansion of existing public or private parks and playgrounds, including customary structures and activities, shall be permitted outright in all multifamily zones.
B.
The following accessory uses shall be permitted in any park or playground if located within a structure or on a terrace abutting the structure. If located within 100 feet from any lot in a residential zone the use shall be completely enclosed.
1.
The sale and consumption of beer during daylight hours;
2.
The sale and consumption of alcoholic beverages under a Class H liquor license at municipal golf courses during established hours of operation.
C.
Storage structures and areas and other structures and activities customarily associated with parks and playgrounds are subject to the following development standards in addition to the general development standards for accessory uses:
1.
Any active play area shall be located 30 feet or more from any lot in a neighborhood residential zone.
2.
Garages and service or storage areas shall be screened from view from abutting lots in residential zones.
(Ord. 126509, § 65, 2022 [zone name change]; Ord. No. 123209, § 50, 2009.)
The keeping of animals is regulated by Section 23.42.052, Keeping of Animals.
(Ord. No. 123209, § 46, 2009.)
Home occupations are regulated by Section 23.42.050, Home Occupations.
(Ord. No. 123209, § 47, 2009.)
Transitional encampments accessory to religious facilities or to principal uses located on property owned or controlled by a religious organization are regulated by Section 23.42.054, Transitional Encampments Accessory to Religious Facilities.
(Ord. 123729, § 4, 2011.)
A.
In a Midrise zone, an applicant may seek approval of a Major Phased Development. A Major Phased Development proposal is subject to the provisions of the zone and shall meet the following thresholds:
1.
Minimum site size of 5 acres, composed of contiguous parcels or parcels divided only by one or more rights-of-way.
2.
The proposed project at time of application is a single, functionally interrelated campus, contains more than one building, with a minimum total number of 500 dwelling units, and will meet Mandatory Housing Affordability requirements pursuant to Section 23.58C.005 using the performance option on site.
3.
The first phase of the development consists of at least 100 dwelling units.
4.
At time of application, the project is consistent with the general character of development anticipated by Land Use Code regulations.
5.
The site shall be within 2,640 feet of an existing or planned light rail station.
B.
A Major Phased Development application shall be submitted, evaluated, and approved according to the following:
1.
The application shall contain a level of detail that is sufficient to reasonably assess anticipated impacts, including those associated with a maximum build-out, within the timeframe requested for Master Use Permit extension.
2.
A Major Phased Development component shall not be approved unless the Director concludes that anticipated environmental impacts, such as traffic, open space, shadows, construction impacts and air quality, are not significant or can be effectively monitored and conditions imposed to mitigate impacts over the extended life of the permit, or any such impacts have been addressed through the State Environmental Policy Act (SEPA).
3.
Expiration or renewal of a permit for the first phase of a Major Phased Development is subject to the provisions of Chapter 23.76. The Director shall determine the expiration date of a permit for subsequent phases of the Major Phased Development through the analysis provided for above; such expiration shall be no later than 15 years from the date of issuance.
C.
Changes to the approved Major Phased Development
1.
When an amendment to a Master Use Permit with a Major Phased Development component is requested, the Director shall determine whether the amendment is minor or not.
a.
A minor amendment is one that meets the following criteria:
1)
Substantial compliance with the approved site plan and conditions imposed in the existing Master Use Permit with the Major Phased Development component with no substantial change in the mix of uses and no major departure from the bulk and scale of structures originally proposed; and
2)
Compliance with applicable requirements of this Title 23 in effect at the time of the original Master Use Permit approval; and
3)
No significantly greater impact would occur.
2.
If the Director determines that the amendment is minor, the Director may approve a revised site plan as a Type I decision. The Master Use Permit expiration date of the original approval shall be retained.
3.
If the Director determines that the amendment is not minor, the applicant may either continue under the existing Major Phased Development approval or may submit a revised Major Phased Development application. The revised application shall be the subject of a Type II decision. Only the portion of the site affected by the revision shall be subject to regulations in effect on the date of the revised Major Phased Development application, notwithstanding any provision of Chapter 23.76. The decision may retain or extend the existing expiration date on the portion of the site affected by the revision.
(Ord. 126685, § 25, 2022.)
45 - MULTIFAMILY
A.
This Chapter 23.45 establishes regulations for the following zones:
1.
Lowrise 1 (LR1);
2.
Lowrise 2 (LR2);
3.
Lowrise 3 (LR3);
4.
Midrise (MR); and
5.
Highrise (HR).
B.
Zones listed in subsection 23.45.502.A and having an incentive zoning suffix are subject to this Chapter 23.45 and Chapter 23.58A, Incentive Provisions.
C.
Some land in these zones may be regulated by Subtitle III, Division 3, Overlay Districts, of this Title 23.
D.
Other regulations, including but not limited to general use provisions (Chapter 23.42); requirements for streets, alleys, and easements (Chapter 23.53); standards for parking quantity, access, and design (Chapter 23.54); standards for solid waste storage (Chapter 23.54); signs (Chapter 23.55); communication regulations (Chapter 23.57); and methods for measurements (Chapter 23.86), may apply to development proposals.
(Ord. 125791, § 31, 2019; Ord. 125267, § 5, 2017; Ord. 124378, § 25, 2013; Ord. 123770, § 4, 2011; Ord. 123495, § 22, 2011; Ord. No. 123209, § 15, 2009.)
A.
All uses are permitted outright, prohibited, or permitted as a conditional use according to Table A for 23.45.504 and this Section 23.45.504. Uses not referred to in Table A for 23.45.504 are prohibited, unless otherwise indicated in this Chapter 23.45 or Chapters 23.51A, 23.51B, or 23.57. Communication utilities and accessory communication devices, except as exempted in Section 23.57.002, are subject to the regulations in this Chapter 23.45 and additional regulations in Chapter 23.57. Public facilities are subject to the regulations in Section 23.51A.004.
B.
All permitted uses are allowed as a principal use or as an accessory use, unless otherwise indicated in this Chapter 23.45.
C.
Accessory uses. The following accessory uses are permitted in all multifamily zones, subject to the standards in Section 23.45.545, if applicable:
1.
Private garages and carports;
2.
Private, permanent swimming pools, hot tubs and other similar uses;
3.
Solar collectors, including solar greenhouses;
4.
Open wet moorage accessory to residential structures;
5.
Uses accessory to parks and playgrounds, pursuant to Section 23.45.578;
6.
Bed and breakfasts in a dwelling unit that is at least five years old;
7.
Recycling collection stations;
8.
Urban farms with planting area not more than 4,000 square feet. Urban farms with greater than 4,000 square feet of planting area may be allowed as an administrative conditional use to any use permitted outright or as a conditional use. The Director may grant, condition or deny a conditional use permit in accordance with subsection 23.42.051.B; and
9.
Accessory dwelling units.
D.
Heat recovery incinerators may be permitted as accessory administrative conditional uses, pursuant to Section 23.45.506.
E.
Ground-floor commercial use
1.
Drive-in businesses are prohibited, as either a principal or accessory use.
2.
The following uses are permitted as ground-floor commercial uses in MR and HR zones pursuant to Section 23.45.532:
a.
Business support services;
b.
Food processing and craft work;
c.
General sales and services;
d.
Medical services;
e.
Offices;
f.
Restaurants; and
g.
Live-work with one of the uses permitted in this subsection 23.45.504.E as the permitted commercial use.
F.
Existing cemeteries are permitted to continue in use. New cemeteries are prohibited and existing cemeteries are prohibited from expanding. For purposes of this Section 23.45.504, a change in a cemetery boundary is not considered an expansion in size and is permitted provided that:
1.
The change does not increase the net land area occupied by the cemetery;
2.
The land being added to the cemetery is contiguous to the existing cemetery and is not separated from the existing cemetery by a public street or alley whether or not improved; and
3.
The use of the land being added to the cemetery will not result in the loss of housing.
G.
Except as provided in subsections 23.45.504.G.1 and 23.45.504.G.2 below, medical service uses other than permitted ground-floor commercial uses are prohibited.
1.
Medical service uses in HR zones may be permitted as administrative conditional uses pursuant to subsection 23.45.506.F.
2.
Medical service uses meeting the development standards for institutions are permitted outright on property conveyed by a deed from the City that, at the time of conveyance, restricted the property's use to a health care or health-related facility.
H.
Fences and free-standing walls of utility services uses shall be set back from the street lot line by an average of 7 feet and be no less than 5 feet from the street lot line at any point. Landscaping shall be provided between the fence or wall and the street lot line. The Director may reduce this setback after finding that the reduced setback will not significantly increase project impacts, including but not limited to noise, odor, and the scale of the structure in relation to nearby buildings. Acceptable methods to reduce fence or wall impacts include changes in the height, design or construction of the fence or wall, including the use of materials, architectural detailing, artwork, vegetated trellises, decorative fencing, or similar features to provide visual interest facing the street lot line. Fences and walls may obstruct or allow views to the interior of a site. Where site dimensions and conditions allow, applicants are encouraged to provide both a landscaped setback between the fence or wall and the right-of-way, and a fence or wall that provides visual interest facing the street lot line, through the height, design or construction of the fence or wall, including the use of materials, architectural detailing, artwork, vegetated trellises, decorative fencing, or similar features.
(Ord. 127098, § 2, 2024; Ord. 126626, § 2, 2022; Ord. 126384, § 5, 2021; Ord. 125558, § 6, 2018; Ord. 124843, § 18, 2015; Ord. 124608, § 5, 2014; Ord. 123939, § 7, 2012; Ord. 123547, § 3, 2011; Ord. 123495, § 24, 2011; Ord. 123378, § 11, 2010; Ord. 123209, § 17, 2009.)
A.
Uses permitted as administrative conditional uses in Section 23.45.504 may be permitted by the Director when the provisions of Section 23.42.042 and this Section 23.45.506 are met.
B.
Unless otherwise specified in this Chapter 23.45, conditional uses shall meet the development standards for uses permitted outright. If an existing structure is nonconforming to development standards, then no conditional use is required for any alterations that do not increase the nonconformity.
C.
Institutions other than public schools not meeting the development standards of 23.45.570, Institutions, and Major Institution uses as provided in Chapter 23.69, may be permitted subject to the following:
1.
Bulk and Siting. In order to accommodate the special needs of the proposed institution, and to better site the facility with respect to its surroundings, the Director may modify the applicable development standards. In determining whether to allow such modifications, the Director shall balance the needs of the institution against the compatibility of the proposed institution with the residential scale and character of the surrounding area.
2.
Dispersion Criteria. An institution that does not meet the dispersion criteria of Section 23.45.570 may be permitted by the Director upon determination that it would not substantially worsen parking shortages, traffic safety hazards, and noise in the surrounding residential area.
3.
Noise. The Director may condition the permit in order to mitigate potential noise problems. Measures the Director may require for this purpose include, but are not limited to the following: landscaping, sound barriers, fences, berms, adjustments to yards or the location of refuse storage areas, location of parking areas and access, structural design modifications, and regulating hours of use.
4.
Transportation Plan. A transportation plan is required for proposed new institutions and for those institutions proposing to expand larger than 4,000 square feet of floor area and/or required to provide 20 or more new parking spaces. The Director may condition a permit to mitigate potential traffic and parking impacts pursuant to a Transportation Management Plan or Program as described in directors rules governing such plans or programs. The Director will determine the level of detail to be disclosed in the transportation plan based on the probable impacts and/or scale of the proposed institution.
D.
A use not otherwise permitted in the zone within a structure designated as a Seattle landmark that is subject to controls and incentives imposed by a designating ordinance, when the owner of the landmark has executed and recorded an agreement acceptable in form and content to the Landmarks Preservation Board providing for the restoration and maintenance of the historically significant features of the structure, may be permitted subject to the following:
1.
The use is compatible with the existing design and/or construction of the structure without significant alteration; and
2.
Uses permitted by the zone are impractical because of structure design and/or that no permitted use can provide adequate financial support necessary to sustain the structure in reasonably good physical condition.
E.
Park and ride facilities on surface parking lots may be permitted as a Type II decision subject to the following:
1.
The facility may be permitted only where there is direct vehicular access to an arterial street improved to City standards in subsection 23.53.015.B.
2.
The facility is located on a lot containing required accessory parking for other uses, and there must be no substantial conflict in the principal operating hours of the facility and other uses on the lot.
3.
The Director may require noise mitigation, vehicular access control, signage restrictions, landscaping and screening in addition to that required for surface parking areas, and other measures to provide comfort and safety for pedestrians and bicyclists. The purpose of these measures is to help ensure the compatibility of the facility with the surrounding area.
F.
In addition to medical service uses permitted as ground floor commercial uses pursuant to subsection 23.45.504.E, medical service uses occupying over 4,000 square feet may be permitted in Highrise zones as administrative conditional uses on lots that are at least 25,000 square feet in size, have not been in residential use since January 1, 1989, and are located on a block that abuts a Neighborhood Commercial zone on at least two entire sides of the block (defined for the purpose of this subsection 23.45.506.F as an area bounded by street lot lines).
1.
In order to approve a medical service use, the Director must determine that the medical service use is an expansion of an existing medical service business establishment in the immediate vicinity that is not a major institution.
2.
Design review is required.
3.
The development standards in Sections 23.45.510, 23.45.514, 23.45.516, 23.45.518, 23.45.520, and 23.45.536 do not apply to the portion of the structure occupied by medical service uses, except as specified in this subsection 23.45.506.F. Portions of the structure occupied by medical service uses shall meet the following development standards:
a.
The maximum height for the portions of structures containing medical office uses is 108 feet, except that the provisions for green roofs and rooftop features in Section 23.45.514 apply.
b.
The average of the gross floor area of stories in medical service use above 45 feet in height shall not exceed 60 percent of the area of the lot.
4.
Setbacks
a.
Setbacks shall be required as shown on Table A for 23.45.506.
Table A for 23.45.506: Setback Requirements for Medical Office Uses (all measurements in feet)
b.
If the ground floor of a street facade is in use as a child care center, community center, or commercial use permitted on the ground floor by Section 23.45.504, no setback is required for the portion of the street facade that is 45 feet in height or less.
c.
If a lot abutting the lot is developed to the side lot line, portions of the proposed development that are 45 feet in height or less may be joined to the abutting structure.
d.
Projections into required setbacks, and structures in required setbacks, are permitted pursuant to Section 23.45.518.
5.
A minimum of 25 percent of the lot area shall be provided as landscaped open space at ground level. Except as provided in this subsection 23.45.506.F.5, no horizontal dimension for required open space shall be less than 10 feet, nor shall any required open space area be less than 225 square feet. The following additional areas may be included in the calculation of required ground level open space:
a.
Area in the public right-of-way of a neighborhood green street designated in Section 23.45.516 abutting the lot that is improved according to a plan approved by the Director, in consultation with the Director of the Seattle Department of Transportation; except that the Director may waive the requirement that the neighborhood green street abut the lot and allow the improvements to be made to a neighborhood green street located in the general vicinity of the project, if such an improvement is determined to be beneficial to the occupants of the project; and
b.
Landscaped area in the public right-of-way that abuts the required open space on the lot, when the landscaping contributes to achievement of the Green Factor score required in subsection 23.45.506.F.6. below.
6.
The landscaping and screening requirements of Section 23.45.524 apply, except that the required Green Factor score is 0.3 or greater, pursuant to Section 23.86.019.
7.
Parking shall be required as provided in Chapter 23.54.
8.
The Director shall determine the location of access to parking. In order to promote pedestrian safety and comfort, access via an alley is preferred. Where street access is deemed appropriate, due to safety hazards, topography, or other special conditions of the lot, the number of curb cuts and the width of curb cuts, driveways, and garage openings shall be minimized.
9.
No surface area parking shall be provided, and no parking shall be located at or above grade, unless it is separated from all street lot lines by another use.
10.
The preferred access to loading berths shall be from an alley if the lot abuts an alley. Loading berths shall be located so that access to any residential parking is not blocked.
11.
The Director shall determine the location of passenger load zones, based on safety considerations, minimizing conflicts with automobile and pedestrian traffic, reducing impacts on any nearby residential uses, and the efficient operation of the medical service use.
12.
Identifying signs shall be permitted according to Chapter 23.55, Signs.
13.
For mixed use structures containing both medical service uses and residential uses, the portion of the structure in residential use shall meet the requirements of the HR zone, except as modified by the following:
a.
The maximum width and floor size limits in Section 23.45.520 apply to any portion of the structure in residential use above 45 feet in height.
b.
Amenity areas shall be provided according to the provisions of Section 23.45.522. Open space required at ground level pursuant to subsection 23.45.506.F.5 may be counted as amenity area if it meets the applicable development standards of Section 23.45.522.
c.
No landscaped open space is required in addition to the open space required in subsection 23.45.506.F.5.
G.
Heat recovery incinerators located on the same lot as the principal use may be permitted by the Director as accessory conditional uses, subject to the following conditions:
1.
The incinerator may be located no closer than 100 feet to any lot line unless completely enclosed within a building.
2.
If not within a building, the incinerator shall be enclosed by a view-obscuring fence of sufficient strength and design to resist entrance by children.
3.
Adequate control measures for insects, rodents and odors shall be continuously maintained.
(Ord. 126157, § 19, 2020; Ord. 125558, § 7, 2018; Ord. 123495, § 26, 2011; Ord. 123378, § 12, 2010; Ord. 123209, § 24, 2009.)
A.
Except for structures related to an urban farm, a structure occupied by a permitted use other than a residential use may be partially or wholly converted to a residential use even if the structure does not conform to the development standards for residential uses in multifamily zones.
B.
Off-street parking shall be provided pursuant to Section 23.54.015, and as permitted by provisions of Sections 23.45.504 and 23.45.506, if applicable.
C.
Expansions of nonconforming converted structures and conversions of structures occupied by nonconforming uses are regulated by Sections 23.42.108 and 23.42.110.
D.
Methods for measurements are provided in Chapter 23.86. Requirements for streets, alleys, and easements are provided in Chapter 23.53. Standards for parking and access and design are provided in Chapter 23.54. Standards for solid waste and recyclable materials storage space are provided in Section 23.54.040. Standards for signs are provided in Chapter 23.55.
E.
Assisted living facilities, congregate residences, nursing homes, and structures containing ground floor commercial uses as allowed by Chapter 23.46 in RC zones shall meet the development standards for apartments unless otherwise specified.
F.
Single-family dwelling units. In LR zones, single-family dwelling units shall meet the development standards for townhouse developments, except as otherwise provided. In MR and HR zones, single-family dwelling units shall meet the development standards of the zone.
G.
Proposed uses in all multifamily zones are subject to the transportation concurrency level-of-service standards prescribed in Chapter 23.52.
H.
Lots with no street frontage. For purposes of structure width, depth, and setbacks, multifamily zoned lots that have no street frontage are subject to the following:
1.
For lots that have only one alley lot line, the alley lot line shall be treated as a front lot line.
2.
For lots that have more than one alley lot line, the Director shall determine which alley lot line shall be treated as the front lot line.
3.
For lots that have no alley lot lines, the applicant may choose the front lot line provided that the selected front lot line length is at least 50 percent of the width of the lot.
I.
Any other provision of the Seattle Municipal Code notwithstanding, an applicant is not entitled to a permit for any use or development on a lot in an LR zone that would be inconsistent with any term, condition, or restriction contained either in any recorded agreement that is in effect as to that lot and was made in connection with a rezone of the lot to LDT, L1, L2, L3, or L4, or in any City Council decision or ordinance related to a rezone of the lot to LDT, L1, L2, L3, or L4 conditioned on a recorded agreement prior to April 19, 2011.
J.
If more than one category of residential use is located on a lot, and if different development standards apply to the different categories of use, then each category's percentage of the total limit imposed by the development standard shall be calculated based on each category's percentage of total structure footprint area, as follows:
1.
Calculate the footprint, in square feet, for each category of residential use. For purposes of this calculation, "footprint" is defined as the horizontal area enclosed by the exterior walls of the structure.
2.
Calculate the total square feet of footprint of all categories of residential uses on the lot.
3.
Divide the square footage of the footprint for each category of residential structure in subsection 23.45.508.J.1 by the total square feet of footprints of all residential uses in subsection 23.45.508.J.2.
4.
Multiply the percentage calculated in subsection 23.45.508.J.3 for each housing category by the area of the lot. The result is the area of the lot devoted to each housing category.
5.
The total limit for each category of residential use is the applicable limit for that use multiplied by the percentage calculated in subsection 23.45.508.J.4.
K.
Unless otherwise specified, the development standards of each zone shall be applied in that zone, and may not be used in any other zone, except that if both zones have the same development standards, the development standard shall be applied to the lot as a whole. If a lot or development site includes more than one zoning designation and a development standard is based on lot area, the lot area used in applying the development standard shall be the portion of the contiguous area with the corresponding zoning designation.
(Ord. 127098, § 3, 2024; Ord. 126682, § 1, 2022; Ord. 125791, § 32, 2019; Ord. 125558, § 8, 2018; Ord. 124843, § 19, 2015; Ord. 124608, § 6, 2014; Ord. 124378, § 26, 2013; Ord. 123495, § 27, 2011; Ord. 123378, § 13, 2010; Ord. 123209, § 20, 2009.)
A.
Resolution of standards conflicts. To the extent there is a conflict between this Section 23.45.509 and other sections of Title 23, the provisions of this Section 23.45.509 apply.
B.
University Community Urban Center. The following provisions apply to development in the MR (M1) zone.
1.
Lots located in MR (M1) zones are eligible as Landmark TDR and TDP sending sites if the lot meets the definition of the applicable TDR or TDP sending site in Chapter 23.84A and meets all applicable standards in Section 23.58A.042.
2.
The maximum amount of TDR and TDP that can be transferred from an eligible sending site shall not exceed an amount of floor area equivalent to the numerical value of the FAR permitted on a lot, multiplied by the lot area of the sending site and minus the sum of any chargeable floor area on the lot plus any TDR and TDP previously transferred.
3.
Eligible receiving sites are limited to those lots in SM-U zones specified in subsection 23.48.623.C.
C.
Structures over 240 feet in HR zones. For development containing one or more structures with heights greater than 240 feet, the following additional conditions shall be met:
1.
No parking is allowed to be located at or above grade, unless it is separated from all street lot lines by another use; and
2.
At least 20 percent of the lot area at grade must be common amenity area meeting the standards of Section 23.45.522.
A.
Gross floor area. In multifamily zones, gross floor area includes exterior corridors, breezeways, and stairways that provide building circulation and access to dwelling units or sleeping rooms. Balconies, patios, and decks that are associated with a single dwelling unit or sleeping room and that are not used for common circulation, and ground-level walking paths, are not considered gross floor area.
B.
Floor area ratio (FAR) limits in LR and MR zones. FAR limits apply in LR and MR zones as shown in Table A for 23.45.510 , provided that if the LR zone designation includes an incentive zoning suffix, then gross floor area may exceed the base FAR as identified in the suffix designation, up to the limits shown in Table A for 23.45.510, if the applicant complies with Chapter 23.58A, Incentive Provisions. The applicable FAR limit applies to the total chargeable floor area of all structures on the lot.
C.
FAR limits in HR zones. FAR limits apply in HR zones as shown in Table B for 23.45.510. The applicable FAR limit applies to the total chargeable floor area of all structures on the lot. All floor area above the base FAR, up to the maximum FAR, is considered extra floor area achievable through the provisions of Section 23.45.516 and Chapter 23.58A.
D.
The following floor area is exempt from FAR limits:
1.
All stories, or portions of stories, that are underground.
2.
The floor area in a Landmark structure subject to controls and incentives imposed by a designating ordinance, if the owner of the Landmark has executed and recorded an agreement acceptable in form and content to the Landmarks Preservation Board, providing for the restoration and maintenance of the historically significant features of the structure, except that this exemption does not apply to a lot from which a transfer of development potential (TDP) has been made under Chapter 23.58A, and does not apply for purposes of determining TDP available for transfer under Chapter 23.58A.
3.
The floor area in structures built prior to January 1, 1982, as single-family dwelling units that will remain in residential use, regardless of the number of dwelling units within the existing structure, provided that:
a.
All residential structures in LR zones, except as provided in subsection 23.45.510.D.4.b;
b.
Single family, cottage housing, rowhouse, and townhouse developments in LR zones, provided that all parking is located at the rear of the structure or is enclosed in structures with garage entrances located on the rear facade; and
4.
Portions of a story that extend no more than 4 feet above existing or finished grade, whichever is lower, excluding access, (see Exhibit A for 23.45.510), in the following circumstances:
a.
All residential structures in LR zones, except as provided in subsection 23.45.510.D.4.b;
b.
Single family, cottage housing, rowhouse, and townhouse developments in LR zones, provided that all parking is located at the rear of the structure or is enclosed in structures with garage entrances located on the rear facade; and
c.
All multifamily structures in MR and HR zones.
Exhibit A for 23.45.510
Area exempt from FAR
5.
For rowhouse and townhouse developments and apartments, floor area within a story, or portion of a story, that is partially above grade if all of the following conditions are met:
a.
The story, or portion of the story, that is partially above grade is used for parking or other accessory uses and has no additional stories above;
b.
The average height of the exterior walls enclosing the floor area does not exceed one story, measured from existing or finished grade, whichever is lower;
c.
The roof area above the exempt floor area is predominantly flat, is used as amenity area, and meets the standards for amenity area at ground level in Section 23.45.522; and
d.
At least 25 percent of the perimeter of the amenity area on the roof above the floor area is not enclosed by the walls of the structure.
6.
Enclosed common amenity area in HR zones.
7.
As an allowance for mechanical equipment, in any structure more than 85 feet in height, 3.5 percent of the gross floor area that is not otherwise exempt under this subsection 23.45.510.D.
8.
In HR zones, ground floor commercial uses meeting the requirements of Section 23.45.532, if the street level of the structure containing the commercial uses has a minimum floor-to-floor height of 13 feet and a minimum depth of 15 feet.
9.
The floor area of required bicycle parking for small efficiency dwelling units or congregate residence sleeping rooms, if the bicycle parking is located within the structure containing the small efficiency dwelling units or congregate residence sleeping rooms. Floor area of bicycle parking that is provided beyond the required bicycle parking is not exempt from FAR limits.
10.
Common walls separating individual rowhouse and townhouse dwelling units.
11.
In the Northgate Urban Center, up to 15,000 square feet of floor area in residential use in a structure built prior to 1990 that is located on a split-zoned lot of at least 40,000 square feet in size.
12.
In MR and HR zones, all gross floor area in child care centers.
13.
In low-income housing, all gross floor area for accessory human service uses.
E.
If TDP is transferred from a lot pursuant to Section 23.58A.042, the amount of non-exempt floor area that may be permitted is an FAR of 7, plus any net amount of TDP previously transferred to the lot, minus the sum of the existing non-exempt floor area on the lot and the amount of TDP transferred.
(Ord. 127099, § 17, 2024; Ord. 126855, § 12, 2023; Ord. 126287, § 3, 2021; Ord. 126131, § 4, 2020; Ord. 125791, § 34, 2019; Ord. 125603, § 19, 2018; Ord. 125359, § 2, 2017; Ord. 125272, § 16, 2017; Ord. 125267, § 7, 2017; Ord. 125163, § 5, 2016; Ord. 124843, § 20, 2015; Ord. 124803, § 2, 2015; Ord. 124378, § 27, 2013; Ord. 124172, § 4, 2013; Ord. 123770, § 5, 2011; Ord. 123564, § 6, 2011; Ord. 123495, § 29, 2011; Ord. 123209, § 26, 2009.)
A.
There is no density limit for residential development in LR zones, except that in LR1 zones for rowhouse development on interior lots, all townhouse development, and all single-family dwelling units, and for all residential development in all LR zones that do not have a mandatory housing affordability suffix, the number of dwelling units allowed on a lot is the greater of the number of dwelling units allowed under subsections 23.45.512.B or 23.45.512.C.
B.
Rowhouse development on interior lots, all townhouse development and all single-family dwelling units in LR1 zones, and all residential development in LR zones that do not have a mandatory housing affordability suffix shall not exceed a density of one principal dwelling unit per 1,150 square feet of lot area; except low-income housing shall have a maximum density of one principal dwelling unit per 400 square feet of lot area.
C.
Alternative Density Limits. Rowhouse development on interior lots, all townhouse development and all single-family dwelling units in LR1 zones and all residential development in LR zones that do not have a mandatory housing affordability suffix may include the number of dwelling units permitted under subsection 23.45.512.C.1 or 23.45.512.C.2, as applicable. For the purposes of this subsection 23.45.512.C, dwelling units include both principal and accessory dwelling units.
1.
Permitted densities. The following density limits apply on lots that do not contain any riparian corridors, any wetlands or their buffers, any submerged lands or areas within the shoreline setback, or designated non-disturbance area in steep slopes:
a.
Up to four dwelling units are permitted on lots existing as of June 30, 2025.
b.
Up to six dwelling units are permitted on all lots existing as of June 30, 2025 that are located within one-quarter mile walking distance of a major transit stop.
c.
Up to six dwelling units are allowed on a lot existing as of June 30, 2025 provided that:
1)
A regulatory agreement, covenant, or other legal instrument, recorded on the title of the property and enforceable by The City of Seattle, ensures affordability for income-eligible households for 50 years in at least two principal dwelling units as follows:
a)
For rental housing, restricted units serving households with incomes no higher than 60 percent of median income at initial occupancy and with rents not exceeding 30 percent of 60 percent of median income; or
b)
For ownership housing, restricted units sold to households with incomes no higher than 80 percent of median income at prices (initial sale and resale) that allow modest growth in homeowner equity while maintaining long-term affordability for income-eligible buyers, all as determined by the Director of Housing;
2)
The low-income units must be generally distributed throughout the development and have substantially the same functionality as unrestricted units in the development;
3)
To the extent practicable, the low-income units must be comparable to unrestricted units in terms of square footage and number of bedrooms and bathrooms;
4)
Tenure (i.e., rental or ownership) of low-income units and unrestricted units must be the same;
5)
The regulatory agreement, covenant, or other legal instrument must contain criteria and policies to maintain public benefit if the property is demolished or converted to a non-residential use;
6)
For ownership developments, the low-income units must be stewarded by a qualified non-profit organization including:
a)
Pre-purchase verification of income and other requirements for eligible households, affordable sale price calculations for approval by the Office of Housing, and execution of legal restrictions on the property; and
b)
Post-purchase support for homeowners by facilitating resales, monitoring compliance with financial, owner occupancy, and other legal requirements, and clear communication of program guidelines and restrictions;
7)
For purposes of this subsection 23.45.512.C.5, qualified non-profit organization means a non-profit organization that the Office of Housing determines as experienced in the development and stewardship of permanently affordable homes;
8)
At such times as may be required by the Director of Housing but no less than annually, the property owner for rental housing or the qualified non-profit organization for ownership housing must file property reports with the Office of Housing, verified upon oath or affirmation, which shall contain such information as the Office of Housing may deem necessary to determine compliance with this subsection 23.45.512.C.1.c and the regulatory agreement, covenant, or legal instrument according to subsection 23.45.512.C.1.c.1; and
9)
In zones that have a mandatory housing affordability suffix, the dwelling units for which the regulatory agreement, covenant, or other legal instrument required by subsection 23.45.512.C.1.c.1 ensures affordability as required by that subsection shall be counted towards any obligation to provide MHA-R units according to subsection 23.58C.050.A.
2.
For lots that contain any riparian corridors, wetlands and their buffers, submerged lands and areas within the shoreline setback, or designated non-disturbance area in steep slopes, applicants may choose the density limits in subsection 23.45.512.B or develop the lot with the number of principal and accessory dwelling units as follows:
a.
Determine the number of dwelling units that would be allowed under subsection 23.45.512.C.1 if no environmentally critical areas were located on the lot;
b.
Determine the percentage of the lot that is not covered by riparian corridors, wetlands and their buffers, submerged lands and areas within the shoreline setback, or designated non-disturbance area in steep slopes;
c.
Calculate the number of permitted dwelling units by multiplying the number of units determined in subsection 23.45.512.C.2.a by the percentage of the lot calculated in subsection 23.45.512.C.2.b.
D.
Adding units to existing structures
1.
One additional principal dwelling unit may be added to an existing residential structure regardless of the density restrictions in subsection 23.45.512.B or 23.45.512.C. An additional principal dwelling unit is allowed only if the proposed additional unit is to be located entirely within an existing structure, and no additional floor area to accommodate the new unit is proposed to be added to the existing structure.
2.
For the purposes of this subsection 23.45.512.D, "existing residential structures" are those that were established under permit as of October 31, 2001, or for which a permit has been granted and the permit has not expired as of October 31, 2001.
E.
Measurement of minimum lot size and maximum density
1.
When density calculations result in a fraction of a unit, any fraction up to and including 0.85 constitutes zero additional units, and any fraction over 0.85 constitutes one additional unit.
2.
If dedication of right-of-way is required, permitted density shall be calculated before the dedication is made.
3.
In the case of a development within a unit lot subdivision, the density limit shall be applied to the parent lot as a whole.
4.
When calculating maximum density, the number of dwelling units shall include accessory dwelling units and principal dwelling units.
F.
For the purpose of this Section 23.45.512, "designated non-disturbance area in steep slopes" shall include all portions of steep slope hazard areas except the following:
1.
Areas that are granted relief from the prohibition of development according to Section 25.09.090;
2.
Areas where development is allowed under a small project waiver according to Section 25.09.090;
3.
Areas where development is allowed under an administrative conditional use according to Section 25.09.260; and
4.
Areas where intrusion into the steep slope erosion hazard area and buffer is allowed by steep slope erosion hazard area variance according to Section 25.09.290.
G.
Exception to Density Limits. Dwelling unit(s) located in structures built prior to January 1, 1982 that will remain in residential use are exempt from the density limit described in subsections 23.45.512.B and 23.45.512.C.
H.
The minimum lot size for lots created through a subdivision process is the lot size necessary to allow a density of one principal dwelling unit.
(Ord. 127219, § 18, 2025; Ord. 127211, § 12, 2025; Ord. 126855, § 13, 2023; Ord. 126682, § 2, 2022; Ord. 125791, § 35, 2019; Ord. 125359, § 3, 2017; Ord. 125272, § 17, 2017; Ord. 125267, § 8, 2017; Ord. 124843, § 21, 2015; Ord. 124803, § 3, 2015; Ord. 123495, § 30, 2011; Ord. 123046, § 24, 2009; Ord. 122235, § 2, 2006; Ord. 120608, § 1, 2001; Ord. 119242, § 5, 1998; Ord. 119239, § 14, 1998; Ord. 117173, § 3, 1994; Ord. 115326, § 7, 1990; Ord. 114888, § 2, 1989; Ord. 114887, § 4(part), 1989.)
A.
Subject to the additions and exceptions allowed as set forth in this Section 23.45.514, the height limits for structures in LR zones are as shown on Table A for 23.45.514.
B.
The height limits for structures in MR and HR zones are as shown in Table B for 23.45.514, subject to the additions and exceptions allowed as set forth in this Section 23.45.514.
C.
The height limit for accessory structures that are located in required setbacks or separations is 12 feet, except as follows:
1.
Garages and carports are limited to 12 feet in height as measured on the facade containing the vehicle entrance. Open rails may extend an additional 3 feet above the roof of the garage or carport if any portion of the roof is within 4 feet of existing grade. The ridge of a pitched roof on a garage located in a required setback may extend up to 3 feet above the 12-foot height limit. All parts of the roof above the height limit shall be pitched at a rate of not less than 4:12. No portion of a shed roof is permitted to extend beyond the 12-foot height limit.
2.
The height limit for an accessory dwelling unit is provided in subsection 23.42.022.D.
3.
Freestanding flagpoles and religious symbols for religious institutions are exempt from height controls, except as regulated in Chapter 23.64, provided they are no closer to any lot line than 50 percent of their height above existing grade.
D.
Exceptions for pitched roofs in LR zones that are not shed or butterfly roofs
1.
Pitched roofs that are not shed or butterfly roofs may extend up to 5 feet above the height limits set in Table A for 23.45.514, provided that all parts of the roofs above the height limit have a minimum slope of 3:12 and the height exception in subsection 23.45.514.F is not used.
2.
Portions of curved roof forms, such as barrel and domed roofs, may have a lesser slope than 3:12, if the Director determines that the massing of the roof form is comparable to a pitched roof form such as a gable or gambrel roof that would have a minimum slope of 3:12.
E.
Shed and butterfly roofs in LR zones
1.
In LR zones, the high side(s) of a shed or butterfly roof may extend 3 feet above the height limits set in Table A for 23.45.514, provided that the low side(s) of the shed or butterfly roof are no higher than the height limit (see Exhibit A for 23.45.514) if the height limit exception in subsection 23.45.514.F is not used.
2.
The roof line of a shed or butterfly roof may be extended in order to accommodate eaves, provided that the highest point of the roof extension is no more than 4 feet above the height limit.
Exhibit A for 23.45.514
Height exception for shed and butterfly roofs
F.
For apartments in LR2 zones, and for all residential uses in LR3 zones, the applicable height limit is increased 4 feet above the height shown on Table A for 23.45.514 for a structure that includes a story that is partially below-grade, provided that:
1.
This height exception does not apply to portions of lots that are within 50 feet of a neighborhood residential zone boundary line, unless the lot in the LR zone is separated from a neighborhood residential zoned lot by a street;
2.
The number of stories above the partially below-grade story is limited to four stories for residential uses with a 40-foot height limit and to five stories for residential uses with a 50-foot height limit;
3.
On the street-facing facade(s) of the structure, the story above the partially below-grade story is at least 18 inches above the elevation of the street, except that this requirement may be waived to accommodate units accessible to the disabled or elderly, consistent with the Seattle Residential Code, Chapter 3, or the Seattle Building Code, Chapter 11; and
4.
The average height of the exterior walls of the portion of the story that is partially below-grade does not exceed 4 feet, measured from existing or finished grade, whichever is less.
G.
Roofs enclosed by a parapet. Roof surfaces that are completely surrounded by a parapet may exceed the applicable height limit to allow for a slope, provided that the height of the highest elevation of the roof surface does not exceed 75 percent of the parapet height, and provided that the lowest elevation of the roof surface is no higher than the applicable height limit. See Exhibit B for 23.45.514.
Exhibit B for 23.45.514
Height allowance for sloped roofs concealed by a parapet
H.
Green roofs. For any structure with a green roof that meets standards promulgated by the Director and that covers at least 50 percent of the surface of the roof, up to 2 feet of additional height above the maximum height otherwise allowed for the roof is allowed to accommodate structural requirements, roofing membranes, and soil. See Exhibit C for 23.45.514.
Exhibit C for 23.45.514
Green roof height allowance
I.
Rooftop features
1.
Flagpoles and religious symbols for religious institutions that are located on a roof are exempt from height controls, except as regulated in Chapter 23.64, provided they are no closer to any lot line than 50 percent of their height above the roof portion where attached.
2.
Open railings, planters, greenhouses not dedicated to food production, parapets, and firewalls on the roofs of principal structures may extend 4 feet above the maximum height limit set in subsections 23.45.514.A, 23.45.514.B, and 23.45.514.F.
3.
Architectural projections that result in additional interior space, such as dormers, skylights, and clerestories, are subject to the following limits:
a.
On pitched roofs, these projections may extend to the height of the ridge of a pitched roof that is allowed pursuant to subsection 23.45.514.D, if the following conditions are met:
1)
The total area of the projections is no more than 30 percent of the area of each roof plane measured from the plan view perspective;
2)
Each projection is limited to 10 feet in width; and
3)
Each projection is separated by at least 3 feet from any other projection (see Exhibit D for 23.45.514).
Exhibit D for 23.45.514
Permitted projections on pitched roofs
b.
On flat roofs, these projections may extend 4 feet above the maximum height limit allowed by subsections 23.45.514.A, 23.45.514.B, and 23.45.514.F if the following requirements are met:
1)
The total area of the projections is no more than 30 percent of the area of the roof plane; and
2)
The projections are set back at least 4 feet from any street facing facade.
4.
In LR zones, the following rooftop features may extend up to 10 feet above the height limit set in subsections 23.45.514.A and 23.45.514.F, if the combined total coverage of all features listed in this subsection 23.45.514.I.4 does not exceed 25 percent of the roof area (or 30 percent of the roof area if the total includes screened or enclosed mechanical equipment):
a.
Stair penthouses, except as provided in subsection 23.45.514.I.6;
b.
Mechanical equipment;
c.
Play equipment and open-mesh fencing that encloses it, if the fencing is at least 5 feet from the roof edge;
d.
Chimneys;
e.
Wind-driven power generators;
f.
Sun and wind screens, and similar weather protection features such as eaves or canopies extending from rooftop features;
g.
Greenhouses and solariums;
h.
Covered or enclosed common recreation areas; and
i.
Minor communication utilities and accessory communication devices, except that height is regulated according to the provisions of Section 23.57.011.
5.
In MR and HR zones, the following rooftop features may extend up to 15 feet above the applicable height limit set in subsection 23.45.514.B, if the combined total coverage of all features listed in subsections 23.45.514.I.5 and 23.45.514.I.6 does not exceed 30 percent of the roof area, or does not exceed 35 percent of the roof area if the total includes screened or enclosed mechanical equipment, or does not exceed 60 percent coverage of the roof area if the total includes a greenhouse:
a.
Stair penthouses, except as provided in subsection 23.45.514.I.6;
b.
Mechanical equipment;
c.
Play equipment and open-mesh fencing that encloses it, if the fencing is at least 5 feet from the roof edge;
d.
Chimneys;
e.
Sun and wind screens, and similar weather protection features such as eaves or canopies extending from rooftop features;
f.
Covered or enclosed common recreation areas;
g.
Greenhouses and solariums;
h.
Wind-driven power generators; and
i.
Minor communication utilities and accessory communication devices, except that height is regulated according to the provisions of Section 23.57.011.
6.
Subject to the roof coverage limits in subsections 23.45.514.I.4, 23.45.514.I.5, and 23.45.514.I.7 if applicable, elevator penthouses may extend above the applicable height limit up to 16 feet. Stair penthouses may be the same height as an elevator penthouse if the elevator and stairs are co-located within a common penthouse structure.
7.
At the applicant's option, for structures exceeding 120 feet in HR zones, the combined total rooftop coverage limit of all features listed in subsections 23.45.514.I.5 and 23.45.514.I.6 is 75 percent, provided that all of the following are satisfied:
a.
All mechanical equipment is screened or enclosed; and
b.
No rooftop features are located closer than 10 feet to the roof edge, except features that do not exceed the height of the parapet or 5 feet above the roof surface, whichever is greater, or which may be permitted by design review departure or other code provisions including but not limited to Chapter 23.57.
8.
For height exceptions for solar collectors, see Section 23.45.545.
9.
In order to protect solar access for property to the north, the applicant shall either locate the rooftop features listed in this subsection 23.45.514.I.9 at least 15 feet from the north lot line, or provide shadow diagrams to demonstrate that the proposed location of such rooftop features would shade property to the north on January 21 at noon no more than would a structure built to maximum permitted bulk:
a.
Solar collectors;
b.
Planters;
c.
Clerestories;
d.
Greenhouses and solariums;
e.
Minor communication utilities and accessory communication devices, permitted according to the provisions of Section 23.57.011;
f.
Play equipment;
g.
Sun and wind screens, and similar weather protection features such as eaves or canopies extending from rooftop features;
h.
Covered or enclosed common recreation areas.
10.
For height limits and exceptions for communication utilities and devices, see Section 23.57.011.
(Ord. 127219, § 19, 2025; Ord. 127211, § 13, 2025; Ord. 126685, § 21, 2022; Ord. 126600, § 3, 2022; Ord. 126509, § 60, 2022 [zone name change]; Ord. 125791, § 36, 2019; Ord. 125603, § 20, 2018; Ord. 125359, § 4, 2017; Ord. 125272, § 18, 2017; Ord. 125267, § 9, 2017; Ord. 124803, § 4, 2015; Ord. 124378, § 28, 2013; Ord. 123495, § 31, 2011; Ord. 123378, § 14, 2010; Ord. 123209, § 27, 2009.)
Reviser's note—Ord. 126685's purpose in amending this section was to update a cross-reference. Ord. 126600, which 126685 was not aware of, made a similar update to the same cross-reference. Because 126685's amendment would be nonsensical if codified with 126600's, it has been omitted.
A.
Definitions in Section 23.58A.004 apply in this Section 23.45.516 unless otherwise specified.
B.
In HR zones, extra residential floor area above the base FAR may be gained in accordance with Chapter 23.58A subject to the conditions and limits in this Section 23.45.516.
1.
Up to all extra residential floor area may be gained through the affordable housing incentive provisions in Section 23.58A.014.
2.
Up to 40 percent of extra residential floor area may be gained by one or any combination of:
a.
Transfer of development potential;
b.
Providing neighborhood open space; and/or
c.
Providing a neighborhood green street setback if allowed pursuant to subsection 23.45.516.F, all in accordance with this Section 23.45.516 and Chapter 23.58A.
C.
Structures over 240 feet. For development containing one or more structures with heights greater than 240 feet, the following additional conditions shall be met:
1.
No parking is allowed to be located at or above grade, unless it is separated from all street lot lines by another use; and
2.
One of the following is met:
a.
At least 25 percent of the lot area at grade includes one or more landscaped open spaces, each with a minimum horizontal dimension of 10 feet; or
b.
At least 20 percent of the lot area at grade must be common amenity area meeting the standards of Section 23.45.522.
D.
Transferable Development Potential (TDP) from Landmark structures and open space
1.
Sending lots. TDP may be transferred under the provisions of Section 23.58A.040, as modified by this Section 23.45.516, only from Landmark TDP sites and open space TDP sites. In order to be eligible as a Landmark TDP site or open space TDP site, a lot shall be located in First Hill and shall be zoned MR or HR. Sending lots are subject to the limits and conditions in this Chapter 23.45 and Chapter 23.58A. The amount of TDP that may be transferred from a lot is limited to the amount by which the base FAR under Section 23.45.510 exceeds floor area on the lot that is not exempt under Section 23.45.510.
2.
Receiving lots. Any lot located in an HR zone within First Hill is eligible for extra residential floor area according to the provisions of this Section 23.45.516 to receive TDP from an eligible sending lot, subject to the limits and conditions in this Chapter 23.45 and Chapter 23.58A.
E.
Neighborhood green street setback. Floor area may be gained for a neighborhood green street setback according to the provisions of Chapter 23.58A by development on lots abutting one of the streets or street segments within the First Hill Urban Village shown on Map A for 23.45.516.
F.
Neighborhood open space. In HR zones, subject to the limits in this Section 23.45.516 and Chapter 23.58A, extra residential floor area may be gained through a voluntary agreement to provide neighborhood open space , according to the provisions of Section 23.58A.040.
Map A for 23.45.516
Neighborhood Green Streets
(Ord. 127099, § 18, 2024; Ord. 126855, § 14, 2023; Ord. 125791, § 37, 2019; Ord. 125173, § 3, 2016; Ord. 125163, § 6, 2016; Ord. 124952, § 10, 2015; Ord. 124307, § 1, 2013; Ord. 124172, § 5, 2013; Ord. 123495, § 32, 2011; Ord. No. 123209, § 31, 2009.)
A.
LR zones
1.
Required setbacks for the LR zones are as shown in Table A for 23.45.518 and subsection 23.45.518.A.2.
2.
Upper-level setbacks in LR2 and LR3 zones
a.
An upper-level setback of 12 feet from the front lot line is required for all portions of a structure above the following height:
1)
Forty-four feet for zones with a height limit of 40 feet; and
2)
Fifty-four feet for zones with a height limit of 50 feet.
b.
An upper-level setback of 12 feet from each side or rear lot line that abuts a lot zoned neighborhood residential is required for all portions of the structure above 34 feet in height.
c.
Projections allowed in subsection 23.45.518.H are allowed in upper-level setbacks.
d.
Structures allowed in subsection 23.45.518.I are not allowed in upper-level setbacks.
e.
Rooftop features are not allowed in upper-level setback except as follows:
1)
A pitched roof, other than a shed roof or butterfly roof, is allowed in the upper-level setback if all parts of the roof are pitched at a rate of not less than 6:12 and not more than 12:12.
2)
Open railings may extend up to 4 feet above the height at which the setback begins.
3)
Parapets may extend up to 2 feet above the height at which the setback begins.
B.
MR zones
1.
Minimum setbacks for the MR zone are shown in Table B for 23.45.518 and subsection 23.45.518.B.2.
Exhibit A for 23.45.518
MR courtyard example
2.
Upper-level setbacks in MR zones
a.
For lots abutting a street that is less than 56 feet in width, all portions of the structure above 70 feet in height must be set back 15 feet from the front lot line abutting that street.
b.
Projections allowed in subsection 23.45.518.H are allowed in upper-level setbacks.
c.
Structures allowed in subsection 23.45.518.I are not allowed in upper-level setbacks.
d.
Rooftop features are not allowed in upper-level setback except as follows:
1)
Open railings may extend up to 4 feet above the height at which the setback begins.
2)
Parapets may extend up to 2 feet above the height at which the setback begins
C.
HR zones. Minimum setbacks for HR zones are shown in Table C for 23.45.518.
Exhibit B for 23.45.518
HR setbacks
D.
Through lots. In the case of a through lot, each setback abutting a street except a side setback shall be a front setback. Rear setback requirements shall not apply to the lot.
E.
Other setback requirements. Additional structure setbacks may be required in order to meet the provisions of Chapter 23.53, Requirements for Streets, Alleys, and Easements.
F.
Separations between multiple structures
1.
In LR and MR zones, the minimum required separation between principal structures at any two points on different interior facades is 10 feet, except for cottage housing developments, and principal structures separated by a driveway or parking aisle.
2.
In LR and MR zones, if principal structures are separated by a driveway or parking aisle, the minimum required separation between the principal structures is 2 feet greater than the required width of the driveway or parking aisle, provided that the separation is not required to be any greater than 24 feet. If principal structures are separated by a driveway or parking aisle, projections that enclose floor area may extend a maximum of 3 feet into the required separation if they are at least 8 feet above finished grade.
G.
Front and rear setbacks and all separations on lots containing certain environmentally critical areas or buffers may be reduced pursuant to Sections 25.09.280 and 25.09.300.
H.
Projections permitted in required setbacks and separations
1.
Cornices, eaves, gutters, roofs, and other forms of weather protection may project into required setbacks and separations a maximum of 4 feet if they are no closer than 3 feet to any lot line.
2.
Garden windows and other features that do not provide floor area may project a maximum of 18 inches into required setbacks and separations if they:
a.
Are a minimum of 30 inches above the finished floor;
b.
Are no more than 6 feet in height and 8 feet wide; and
c.
Combined with bay windows and other features with floor area, make up no more than 30 percent of the area of the facade.
3.
Bay windows and other features that provide floor area may project a maximum of 2 feet into required setbacks and separations if they:
a.
Are no closer than 5 feet to any lot line;
b.
Are no more than 10 feet in width; and
c.
Combined with garden windows and other features included in subsection 23.45.518.H.2, make up no more than 30 percent of the area of the facade.
4.
Unenclosed decks up to 18 inches above existing or finished grade, whichever is lower, may project into required setbacks or separations.
5.
Unenclosed porches or steps
a.
Unenclosed porches or steps no higher than 4 feet above existing grade, or the grade at the street lot line closest to the porch, whichever is lower, may extend to within 4 feet of a street lot line, except that portions of entry stairs or stoops not more than 2.5 feet in height from existing or finished grade, whichever is lower, excluding guard rails or hand rails, may extend to a street lot line. See Exhibit C for 23.45.518.
b.
Unenclosed porches or steps no higher than 4 feet above existing grade may project into the required rear setback or required separation between structures a maximum of 4 feet provided they are a minimum of 5 feet from a rear lot line.
c.
Unenclosed porches or steps permitted in required setbacks and separations shall be limited to a combined maximum width of 20 feet.
Exhibit C for 23.45.518
Setbacks for unenclosed porches
d.
Permitted porches or steps may be covered, provided that no portions of the cover-structure, including any supports, are closer than 3 feet to any lot line.
6.
Fireplaces and chimneys may project up to 18 inches into required setbacks or separations.
7.
Unenclosed decks and balconies may project a maximum of 4 feet into required setbacks if each one is:
a.
No closer than 5 feet to any lot line;
b.
No more than 20 feet wide; and
c.
Separated from other decks and balconies on the same facade of the structure by a distance equal to at least 1/2 the width of the projection.
8.
Mechanical equipment. Heat pumps and similar mechanical equipment, not including incinerators, are permitted in required setbacks if they comply with the requirements of Chapter 25.08. Any heat pump or similar equipment shall not be located within 3 feet of any lot line. Charging devices for electric cars are considered mechanical equipment and are permitted in required setbacks if not located within 3 feet of any lot line.
I.
Structures in required setbacks or separations, except upper-level setbacks
1.
Detached garages, carports, or other accessory structures are allowed in required separations and required rear or side setbacks, subject to the following requirements:
a.
Any accessory structure located between a principal structure and a side lot line shall provide the setback required for the principal structure;
b.
Any portion of an accessory structure located more than 25 feet from a rear lot line shall be set back at least 5 feet from the side lot line;
c.
Accessory structures shall be set back at least 7 feet from any lot line that abuts a street; and
d.
Accessory structures shall be separated by at least 3 feet from all principal structures, including the eaves, gutters, and other projecting features of the principal structure.
2.
Ramps or other devices necessary for access for the disabled and elderly that meet the Seattle Residential Code, Chapter 3, or Seattle Building Code, Chapter 11, Accessibility, are allowed in any required setback or separation.
3.
Uncovered, unenclosed pedestrian bridges, necessary for access and 5 feet or less in width, are allowed in any required setback or separation.
4.
Underground structures are allowed in any required setback or separation.
5.
Solar collectors are allowed in any required setback or separation, pursuant to the provisions of Section 23.45.545.
6.
Freestanding signs, bike racks, and similar unenclosed structures that are 6 feet or less in height above existing or finished grade, whichever is lower, are allowed in any required setback or separation, provided that signs meet the provisions of Chapter 23.55, Signs.
7.
Fences
a.
Fences no greater than 6 feet in height are allowed in any required setback or separation, except that fences in the required front setback extended to side lot lines or in street side setbacks extended to the front and rear lot lines may not exceed 4 feet in height. Fences located on top of a bulkhead or retaining wall are also limited to 4 feet. If a fence is placed on top of a new bulkhead or retaining wall used to raise grade, the maximum combined height is limited to 9.5 feet.
b.
Up to 2 feet of additional height for architectural features such as arbors or trellises on the top of a fence is allowed, if the architectural features are predominately open.
c.
Fence height may be averaged along sloping grades for each 6-foot-long segment of the fence, but in no case may any portion of the fence exceed 8 feet in height when the height allowed by subsection 23.45.518.I.7.a is 6 feet, or 6 feet in height when the height allowed by subsection 23.45.518.I.7.a is 4 feet.
8.
Bulkheads and retaining walls
a.
Bulkheads and retaining walls used to raise grade are allowed in any required setback if they are limited to 6 feet in height, measured above existing grade. A guardrail no higher than 42 inches may be placed on top of a bulkhead or retaining wall existing as of January 3, 1997.
b.
Bulkheads and retaining walls used to protect a cut into existing grade may not exceed the minimum height necessary to support the cut or 6 feet measured from the finished grade on the low side, whichever is greater. If the bulkhead is measured from the low side and it exceeds 6 feet, an open guardrail of no more than 42 inches meeting Seattle Residential Code or Seattle Building Code requirements may be placed on top of the bulkhead or retaining wall. Any fence shall be set back a minimum of 3 feet from such a bulkhead or retaining wall.
9.
Arbors are allowed in any required setback or separation under the following conditions:
a.
In each required setback or separation, an arbor may be erected with no more than a 40-square-foot footprint, measured on a horizontal roof plane inclusive of eaves, to a maximum height of 8 feet. At least 50 percent of both the sides and the roof of the arbor shall be open, or, if latticework is used, there shall be a minimum opening of 2 inches between crosspieces.
b.
In each required setback abutting a street, an arbor over a private pedestrian walkway with no more than a 30-square-foot footprint, measured on the horizontal roof plane and inclusive of eaves, may be erected to a maximum height of 8 feet. At least 50 percent of the sides of the arbor shall be open, or, if latticework is used, there shall be a minimum opening of 2 inches between crosspieces.
10.
Above-grade green stormwater infrastructure (GSI) features are allowed in any required setback or separation if:
a.
Each above-grade GSI feature is no more than 4.5 feet tall, excluding piping;
b.
Each above-grade GSI feature is no more than 4 feet wide; and
c.
The total storage capacity of all above-grade GSI features is no greater than 600 gallons.
11.
Above-grade GSI features larger than what is allowed in subsection 23.45.518.I.10 are allowed in any required setback or separation if:
a.
Above-grade GSI features do not exceed ten percent coverage of any one setback or separation area;
b.
No portion of an above-grade GSI feature is located closer than 2.5 feet from a side lot line; and
c.
No portion of an above-grade GSI feature projects more than 5 feet into a front or rear setback area.
12.
Mechanical equipment. Heat pumps and similar mechanical equipment, not including incinerators, are allowed in any required setback if they comply with the requirements of Chapter 25.08. No heat pump or similar equipment shall be located within 3 feet of any lot line. Charging devices for electric cars are considered mechanical equipment and are allowed in any required setbacks if not located within 3 feet of any lot line.
13.
Detached, unenclosed structures accessory to townhouses that are up to 8 feet in height and used exclusively for bike parking are allowed in any required setback or separation.
14.
Detached structures accessory to townhouses that are up to 10 feet in height and used exclusively for bike parking are allowed in required separations.
J.
Exceptions for existing structures
1.
In all multifamily zones, certain additions to a residential structure may extend into a required side setback if the structure is already nonconforming with respect to that setback, and if the presently nonconforming section is at least 60 percent of the total width of the respective facade of the structure prior to the addition. The line formed by the nonconforming wall of the structure shall be the limit to which any additions may be built, which may extend up to the height limit and may include basement additions (Exhibit D for 23.45.518), provided that additions shall be at least 3 feet from the side lot line.
2.
An existing single-family dwelling unit in a LR zone may be converted to a multifamily use without conforming to setback standards in subsection 23.45.518.A, provided that the building envelope is not changed. For the purposes of this subsection 23.45.518.J.2, "existing single-family dwelling unit" is one that was established under permit as of October 31, 2001, or for which a permit has been granted and the permit has not expired on October 31, 2001.
Exhibit D for 23.45.518
Permitted additions into required setbacks for existing single-family dwelling units
(Ord. 127219, § 20, 2025; Ord. 126685, § 22, 2022; Ord. 126682, § 3, 2022; Ord. 126509, § 61, 2022 [zone name change]; Ord. 126157, § 20, 2020; Ord. 125791, § 39, 2019; Ord. 125603, § 21, 2018; Ord. 125272, § 19, 2017; Ord. 124952, § 11, 2015; Ord. 124843, § 22, 2015; Ord. 124803, § 5, 2015; Ord. 124378, § 29, 2013; Ord. 123495, § 33, 2011; Ord. 123209, § 32, 2009.)
A.
For the purpose of this Section 23.45.520, a "tower" is any portion of a structure that exceeds 45 feet in height, excluding rooftop features permitted above the height limit. Rooftop features permitted above the height limit shall not be included in calculating the gross floor area per story and floor area coverage of a tower.
B.
If any proposed or existing structures in HR zones exceed a height of 85 feet, excluding rooftop features permitted above the height limit, all structures or portions of structures greater than 45 feet in height are subject to following standards:
1.
A structure may have one or more towers.
2.
The maximum width of an individual tower is 130 feet.
3.
The average gross floor area per story of an individual tower shall not exceed 10,000 square feet and the maximum gross floor area for any individual story of an individual tower shall not exceed 10,500 square feet.
4.
The average gross floor area per story of all towers on the lot shall not exceed 60 percent of the lot area.
5.
Where two or more towers are located on the lot, the minimum horizontal separation between proposed towers or between proposed and existing towers shall be 40 feet.
(Ord. 125791, § 40, 2019; Ord. 124378, § 30, 2013; Ord. 123649, § 19, 2011; Ord. No. 123209, § 34, 2009)
A.
Amount of amenity area
1.
The required amount of amenity area in LR zones is equal to 25 percent of the lot area.
2.
In LR zones, a minimum of 50 percent of the required amenity area shall be provided at ground level or within 4 feet of existing grade.
The required amount of amenity area in MR and HR zones is equal to five percent of the total gross floor area of a residential structure
B.
General requirements. Required amenity areas shall meet the following conditions:
1.
All units shall have access to a common or private amenity area.
2.
Enclosed amenity areas
a.
In LR zones, an amenity area shall not be enclosed within a structure.
b.
In MR and HR zones, no more than 50 percent of the amenity area may be enclosed, and this enclosed area shall be provided as common amenity area.
3.
Projections into amenity areas. Structural projections that do not provide floor area, such as garden windows, may extend up to 2 feet into an amenity area if they are at least 8 feet above finished grade.
4.
Private amenity areas
a.
There is no minimum dimension for private amenity areas, except that if a private amenity area is located between the structure and a side lot line that is not a side street lot line, the minimum horizontal dimension shall be measured from the side lot line and is required to be a minimum of 10 feet.
b.
An unenclosed porch that is a minimum of 60 square feet in size and that faces a street or a common amenity area may be counted as part of the private amenity area for the residential structure to which it is attached.
5.
Common amenity areas shall meet the following conditions:
a.
No common amenity area shall be less than 250 square feet in area, and common amenity areas shall have a minimum horizontal dimension of 10 feet.
b.
Common amenity areas shall be improved as follows:
1)
At least 50 percent of a common amenity area provided at ground level shall be landscaped with grass, ground cover, bushes, bioretention facilities, and/or trees.
2)
Elements that enhance the usability and livability of the space for residents, such as seating, outdoor lighting, weather protection, art, or other similar features, shall be provided.
c.
The common amenity area at ground level shall be accessible to all dwelling units.
6.
Parking areas, vehicular access easements, and driveways do not qualify as amenity areas, except that a woonerf may provide a maximum of 50 percent of the amenity area if the design of the woonerf is approved through a design review process pursuant to Chapter 23.41.
7.
Swimming pools, spas, and hot tubs may be counted toward meeting the amenity area requirement.
8.
Rooftop areas excluded because they are near minor communication utilities and accessory communication devices, pursuant to subsection 23.57.011.C.1, do not qualify as amenity areas.
C.
No amenity area is required for one dwelling unit added to a residential structure existing as of January 1, 1982, provided that no dwelling units have been added since that date.
(Ord. 127219, § 21, 2025; Ord. 126157, § 21, 2020; Ord. 125791, § 41, 2019; Ord. 124952, § 12, 2015; Ord. 124378, § 31, 2013; Ord. 123495, § 34, 2011; Ord. 123209, § 36, 2009.)
A.
Landscaping requirements
1.
Standards. All landscaping provided to meet requirements under this Section 23.45.524 shall meet standards promulgated by the Director to provide for the long-term health, viability, and coverage of plantings. These standards may include, but are not limited to, the type and size of plants, number of plants, spacing of plants, depth and quality of soil, use of drought-tolerant plants, and access to light and air for plants.
2.
Green Factor requirement
a.
Landscaping that achieves a Green Factor score of 0.6 or greater, determined as set forth in Section 23.86.019, is required for any lot within an LR zone if construction of more than one new dwelling unit or a congregate residence is proposed on the site. The addition of any new dwelling unit that does not increase the floor area on the site is exempt from the Green Factor requirement.
b.
Landscaping that achieves a Green Factor score of 0.5 or greater, determined as set forth in Section 23.86.019, is required for any lot within an MR or HR zone if construction of more than one new dwelling unit or a congregate residence is proposed on the site. The addition of any new dwelling unit that does not increase the floor area on the site is exempt from the Green Factor requirement.
B.
Street tree requirements.
1.
Street trees are required if any type of development is proposed, except as provided in subsection 23.45.524.B.2 and B.3 below and Section 23.53.015. Existing street trees shall be retained unless the Director of the Seattle Department of Transportation approves their removal. The Director, in consultation with the Director of the Seattle Department of Transportation, shall determine the number, type, and placement of additional street trees to be provided in order to:
a.
improve public safety;
b.
promote compatibility with existing street trees;
c.
match trees to the available space in the planting strip;
d.
maintain and expand the urban forest canopy;
e.
encourage healthy growth through appropriate spacing;
f.
protect utilities; and
g.
allow access to the street, buildings and lot.
2.
Exceptions to street tree requirements.
a.
If a lot borders an unopened right-of-way, the Director may reduce or waive the street tree requirement along that right-of-way as a Type I decision if, after consultation with the Director of the Seattle Department of Transportation, the Director determines that the right-of-way is unlikely to be opened or improved.
b.
Street trees are not required for any of the following:
1)
changing a use
2)
expanding a structure by 1,000 square feet or less;
3)
expanding surface parking by less than 10 percent in area and less than 10 percent in number of spaces; or
4)
establishing a temporary or intermittent use pursuant to Section 23.42.040.
c.
If an existing structure is proposed to be expanded by more than 1,000 square feet, one street tree is required for each 500 square feet over the first 1,000 square feet of additional structure, up to the maximum number of trees that would be required for new construction.
3.
If it is not feasible to plant street trees in a right-of-way planting strip, a 5 foot setback shall be planted with street trees along the street lot line, or landscaping other than trees shall be provided in the planting strip, subject to approval by the Director of the Seattle Department of Transportation. If, according to the Director of the Department of Transportation, a 5 foot setback or landscaped planting strip is not feasible, the Director may reduce or waive this requirement as a Type I decision.
(Ord. 126685, § 23, 2022; Ord. 125272, § 20, 2017; Ord. 124608, § 7, 2014; Ord. 123495, § 35, 2011; Ord. No. 123209, § 38, 20090
A.
Structure width in LR zones may not exceed 90 feet in LR1 and LR2 zones and 150 feet in LR3 zones.
B.
Maximum façade length in Lowrise zones. The maximum combined length of all portions of façades within 15 feet of a lot line that is neither a rear lot line nor a street or alley lot line shall not exceed 65 percent of the length of that lot line.
(Ord. 127219, § 22, 2025; Ord. 126509, § 62, 2022 [zone name change]; Ord. 123495, § 37, 2011.)
The width and depth limits of this Section 23.45.528 apply to lots greater than 9,000 square feet in MR zones.
A.
The width of each principal structure shall not exceed 150 feet.
B.
Structure depth
1.
The depth of each principal structure shall not exceed 80 percent of the depth of the lot, except as provided in subsection 23.45.528.B.2.
2.
Exceptions to structure depth limit. To allow for front setback averaging and courtyards as provided in Section 23.45.518, structure depth may exceed the limit set in subsection 23.45.528.B.1 if the total lot coverage resulting from the increased structure depth does not exceed the lot coverage that would have otherwise been allowed without use of the courtyard or front setback averaging provisions.
(Ord. 127099, § 19, 2024; Ord. 125791, § 42, 2019; Ord. 125272, § 21, 2017; Ord. 123495, § 38, 2011; Ord. No. 123209, § 29, 2009.)
A.
Intent. The intent of the design standards in this Section 23.45.529 is to:
1.
Enhance street-facing and side facades to provide visual interest, promote new development that contributes to an attractive streetscape, and avoid the appearance of blank walls along a street or adjacent residential property;
2.
Foster a sense of community by integrating new pedestrian-oriented multifamily development with the neighborhood street environment and promoting designs that allow easy surveillance of the street by area residents;
3.
Promote livability in multifamily areas by providing a sense of openness and access to light and air; and
4.
Encourage the compatibility of a variety of housing types with the scale and character of neighborhoods where new multifamily development occurs.
B.
Application of provisions. The provisions of this Section 23.45.529 apply to all residential uses that do not undergo any type of design review pursuant to Chapter 23.41.
C.
Treatment of street-facing facades. For the purposes of this subsection 23.45.529.C, a street-facing facade includes all vertical surfaces enclosing interior space, including gables and dormers, as shown in Exhibit A for 23.45.529.
Exhibit A for 23.45.529
Measurement of facades
D.
Facade openings
1.
At least 20 percent of the area of each street-facing facade shall consist of windows and/or doors, except as provided in subsection 23.45.529.D.2. If a front and side facade are street-facing, the two facades may be combined for the purpose of this calculation.
2.
For any rowhouse or townhouse dwelling unit that has both a front and a side facade that are street-facing, the percentage of the side street-facing facade required to consist of windows and/or doors is reduced to ten percent for the portion of the facade associated with that dwelling unit. This reduction to ten percent is not allowed if the facades are combined for the purpose of this standard pursuant to subsection 23.45.529.D.1.
3.
Windows count toward the requirement for facade openings in this subsection 23.45.529.D only if they are transparent. Windows composed of glass blocks or opaque glass, garage doors, and doors to utility and service areas do not count.
E.
Treatment of side facades that are not street-facing. For the purposes of this subsection 23.45.529.D, a side facade that is not street-facing includes all vertical surfaces enclosing interior space, including gables and dormers, as shown in Exhibit A for 23.45.529, if located within 10 feet of a side lot line. If the side facade of a structure that is not street-facing exceeds 1,000 square feet in area, one of the following must be met:
1.
A portion of the side facade with a minimum area of 250 square feet and a maximum area of 750 square feet shall project or be recessed from abutting facade planes by a minimum depth of 18 inches; or
2.
The side facade shall include vertical or horizontal variations in building materials or color, covering a minimum of 25 percent of the facade surface.
F.
Pedestrian access. Each dwelling unit shall have pedestrian access at least 3 feet in width to the sidewalk or, if no sidewalk exists, the front lot line. This pedestrian access may be shared or private. This pedestrian access may cross any required setbacks or interior separation. The pedestrian access may be part of a driveway.
G.
Entrances. Each structure with a street-facing facade shall have a pedestrian entry on that street-facing facade meeting the following:
1.
For apartments, at least one pedestrian entry shall be required for the structure as a whole.
2.
For single-family dwelling units, cottage housing, rowhouses, and townhouses, each individual dwelling unit with a street-facing facade within 40 feet of the street lot line shall have at least one pedestrian entry on the street-facing facade.
3.
For structures or dwelling units on corner lots, a pedestrian entry is required on only one of the street-facing facades.
4.
Required pedestrian entry on street-facing facades shall have weather protection, such as a covered porch, canopy, recessed entry or similar feature, measuring at least 3 feet by 3 feet in width and depth for attached and detached dwelling units and at least 6 feet in width and 4 feet in depth for stacked dwelling units.
5.
For attached and detached dwelling units, the pedestrian entry may be located on a wall perpendicular to the street-facing facade provided that the pedestrian entry abuts a covered porch or recessed entry that is a portion of the street-facing facade.
(Ord. 127219, § 23, 2025; Ord. 127099, § 20, 2024; Ord. 126685, § 24, 2022; Ord. 125791, § 43, 2019; Ord. 124843, § 24, 2015; Ord. 124378, § 33, 2013; Ord. 123495, § 39, 2011)
For projects exceeding the floor area ratio (FAR) in Table A for 23.45.530, the applicant shall make a commitment that the proposed development will meet the green building standard and shall demonstrate compliance with that commitment, all in accordance with Chapter 23.58D.
(Ord. 125791, § 44, 2019.)
A.
Size limit for dwelling units.
1.
The maximum gross floor area of each cottage in a cottage housing development is 950 square feet.
2.
The maximum gross floor area of a carriage house is 600 square feet.
B.
Size limit for garages. The maximum gross floor area for a shared garage structure in a cottage housing development is 1,200 square feet, and the garage shall contain no more than four parking spaces.
C.
Carriage house structures. A carriage house structure is permitted in a cottage housing development subject to the following standards:
1.
The maximum number of dwelling units permitted in carriage house structures is one-third of the total number of units in the cottage housing development on the lot.
2.
The maximum gross floor area of the ground floor of a carriage house structure is 1,200 square feet.
D.
Existing single-family dwelling units in a cottage housing development. Existing single-family dwelling units that are non-conforming with respect to the standards for a cottage housing development are permitted to remain, provided that the extent of the nonconformity shall not be increased.
(Ord. 123495, § 41, 2011)
A.
All ground-floor commercial uses permitted pursuant to Section 23.45.504, except medical service uses permitted pursuant to Section 23.45.506, shall meet the following conditions:
1.
Structures with ground floor commercial uses in zones that include an RC designation shall comply with Chapter 23.46.
2.
The commercial use is permitted only on the ground floor of a structure that contains at least one dwelling unit. On sloping lots, the commercial use may be located at more than one level within the structure as long as the floor area in commercial use does not exceed the area of the structure's footprint.
3.
The maximum size of use of any one business establishment is 4,000 square feet, except as follows:
a.
the maximum size of use of a multi-purpose retail sales establishment is 10,000 square feet; and
b.
the maximum size of a medical service use located in the Northgate Urban Center is 10,000 square feet.
4.
Vents for venting of odors, vapors, smoke, gas and fumes, and exterior heat exchangers and other similar devices (e.g., related to ventilation, air-conditioning, refrigeration) shall be at least 10 feet above finished sidewalk grade, and directed away to the extent possible from residential uses within 50 feet of the vent.
B.
No loading berths are required for ground-floor commercial uses. If provided, loading berths shall be located so that access to residential parking is not blocked.
C.
Identifying business signs are permitted pursuant to Chapter 23.55, Signs.
(Ord. 125791, § 45, 2019; Ord. 124843, § 25, 2015; Ord. 124378, § 34, 2013; Ord. 123939, § 9, 2012; Ord. 123209, § 40, 2009).
A.
Exterior lighting shall be shielded and directed away from adjacent properties.
B.
Interior lighting in parking garages shall be shielded to minimize nighttime glare on adjacent properties.
C.
To prevent vehicle lights from affecting adjacent properties, driveways and parking areas for more than two vehicles shall be screened from abutting properties by a fence or wall between 5 feet and 6 feet in height, or a solid evergreen hedge or landscaped berm at least 5 feet in height. If the elevation of the lot line is different from the finished elevation of the driveway or parking surface, the difference in elevation may be measured as a portion of the required height of the screen so long as the screen itself is a minimum of 3 feet in height. The Director may waive the requirement for the screening if it is not needed due to changes in topography, agreements to maintain an existing fence, or the nature and location of adjacent uses.
(Ord. 123495, § 42, 2011; Ord. No. 123209, § 41, 2009.)
A.
Off-street parking spaces are required to the extent provided in Chapter 23.54.
B.
Location of parking
1.
If parking is required, it shall be located on the same lot as the use requiring the parking, except as otherwise provided in this subsection 23.45.536.B.
2.
Surface parking
a.
Except as otherwise provided in this subsection 23.45.536.B, surface parking may be located anywhere on a lot except:
1)
In the required front setback;
2)
In the required side street side setback as extended from side lot line to side lot line; and
3)
Within 20 feet of any street lot line.
b.
If access is taken directly from an alley, surface parking may be located anywhere within 28 feet from an alley lot line provided it is no closer than 7 feet to any street lot line. Additionally, for lots with only alley frontage, surface parking may be located within the front setback.
3.
Parking in a structure. Parking may be located in a structure or under a structure, provided that no portion of a garage that is higher than 4 feet above existing or finished grade, whichever is lower, shall be closer to a street lot line than any part of the street-level, street-facing facade of the structure in which it is located.
4.
On a through lot, parking may be located between the structure and one front lot line. The front setback in which the parking may be located will be determined by the Director based on the prevailing character and setback patterns of the block.
5.
On waterfront lots in the Shoreline District, parking may be located between the structure and the front lot line, if necessary to prevent blockage of view corridors or to keep parking away from the edge of the water, as required by Chapter 23.60A, Shoreline Master Program Regulations.
6.
Parking that is required and accessory to a residential or non-residential use may be located on a lot within 800 feet of the lot where the use that requires the parking is located, provided that:
a.
The lot is not located in a neighborhood residential zone; and
b.
The requirements of Section 23.54.025 for required parking are met.
C.
Access to parking
1.
Alley access required. Except as otherwise expressly required or permitted in subsections 23.45.536.C or 23.45.536.D, access to parking shall be from the alley if the lot abuts an alley and one of the conditions in this subsection 23.45.536.C.1 is met:
a.
The alley is improved to the standards of subsection 23.53.030.C; or
b.
The Director determines that alley access is feasible and desirable to mitigate parking access impacts, improve public safety, and/or maintain on-street parking capacity.
2.
Street access required. Access to parking shall be from the street if:
a.
The lot does not abut an alley.
b.
The lot abuts an alley, and the Director determines that the alley should not be used for access for one or more of the following reasons:
1)
Due to the relationship of the alley to the street system, use of the alley for parking access would create a significant safety hazard;
2)
Topography makes alley access infeasible; or
3)
The alley is on the uphill side of a steeply sloping lot, and the following conditions are met:
a)
Access from the street is to a common parking garage in or under the structure, located a maximum of 4 feet above grade.
b)
The siting of development results in an increased Green Factor score, larger ground-level amenity areas, and/or reduced surface parking area than if alley access is used.
3.
On corner lots, if street access is permitted pursuant to subsection 23.45.536.C.2, the applicant may determine the street from which access is taken, unless the Director determines that the use of the street chosen by the applicant would create a significant safety hazard.
4.
On steeply sloping lots, the Director may permit the use of both an alley and a street for access, provided that the following conditions are met:
a.
Access from the street is to a common parking garage in or under the structure, that is underground or extends no more than 4 feet above grade.
b.
The siting of development results in an increased Green Factor score, larger ground-level amenity areas, and/or reduced surface parking area than if alley access alone is used.
5.
Access to required barrier-free parking spaces that meet the standards in the Seattle Residential Code, Section R320, or the Seattle Building Code, Chapter 11, may be from the street where alley access would otherwise be required if providing access from an alley would reduce accessibility to a dwelling unit for persons with disabilities.
6.
If the alley is used for access, the alley shall be improved according to the standards in subsections 23.53.030.E and 23.53.030.F.
7.
If the lot does not abut an improved alley or street, access may be permitted from an easement that meets the provisions of Chapter 23.53, Requirements for Streets, Alleys, and Easements.
8.
If street access is required, either:
a.
Driveways that provide access from the street to garages opening on a street-facing facade of individual townhouse or rowhouse units shall be paved with permeable materials; or
b.
Access to a majority of garages opening on street-facing facades of individual townhouse or rowhouse units shall be provided by shared driveways.
D.
Screening of parking
1.
Parking shall be screened from direct street view by:
a.
The street-facing facade of a structure;
b.
Garage doors;
c.
A fence or wall; or
d.
Landscaped areas, including bioretention facilities or landscaped berms.
2.
Screening provided by a fence, wall, or vegetation in a landscaped area shall not be located within any required sight triangle and shall meet the following conditions:
a.
The fence, wall, or vegetation in the landscaped area shall be at least 3 feet tall measured from the elevation of the curb, or from the elevation of the street if no curb is present. If the elevation of the ground at the base of the fence, wall, or landscaped area is higher than the finished elevation of the parking surface, the difference in elevation may be measured as a portion of the required height of the screen, so long as the fence, wall, or vegetation in the landscaped area is at least 3 feet in height. If located in a setback, the fence or wall shall meet the requirements of subsection 23.45.518.I.7.
b.
The fence, wall, or vegetation in the landscaped area shall be set back at least 3 feet from the lot line.
3.
Screening by garage doors in LR zones. If parking is provided in a garage in or attached to a principal structure and garage door(s) face a street, the garage door(s) may be no more than 75 square feet in area.
E.
Other provisions. Garage doors in LR zones and MR zones facing the street shall be set back at least 18 feet from the street lot line, and shall be no closer to the street lot line than the street-facing facade of the structure.
(Ord. 126682, § 4, 2022; Ord. 126509, § 63, 2022 [zone name change]; Ord. 125791, § 46, 2019; Ord. 125603, § 22, 2018; Ord. 125558, § 9, 2018; Ord. 125272, § 22, 2017; Ord. 124952, § 13, 2015; Ord. 124843, § 26, 2015; Ord. 124378, § 35, 2013; Ord. 124105, § 21, 2013; Ord. 123495, § 43, 2011; Ord. 123209, § 43, 2009)
A.
Private, permanent swimming pools, hot tubs and other similar uses are permitted in any required setback, provided that:
1.
No part of any swimming pools, hot tubs and other similar uses shall project more than 18 inches above existing grade in a required front setback; and
2.
No swimming pool shall be placed closer than 5 feet to any front or side lot line.
B.
Solar greenhouses, greenhouses and solariums
1.
Solar greenhouses, greenhouses and solariums, in each case that are attached to and integrated with the principal structure and no more than 12 feet in height are permitted in a required rear setback, subject to subsection 23.45.545.B.3, and may extend a maximum of 6 feet into required front and side setbacks, subject to subsection 23.45.545.B.2.
2.
An attached solar greenhouse, greenhouse or solarium, in a required setback, shall be no closer than 3 feet from side lot lines and 8 feet from front lot lines.
3.
A solar greenhouse, greenhouse or solarium allowed pursuant to subsection 23.45.545.B.1 shall not be closer than 5 feet to the rear lot line, except that it may abut an alley if it is no taller than 10 feet along the rear lot line, is of no greater average height than 12 feet for a depth of 15 feet from the rear lot line, and is no wider than 50 percent of lot width for a depth of 15 feet from the rear lot line.
C.
Solar collectors
1.
Solar collectors are permitted in required setbacks, subject to the following:
a.
Detached solar collectors are permitted in required rear setbacks, no closer than 5 feet to any other principal or accessory structure.
b.
Detached solar collectors are permitted in required side setbacks, no closer than 5 feet to any other principal or accessory structure, and no closer than 3 feet to the side lot line.
2.
Sunshades that provide shade for solar collectors that meet minimum written energy conservation standards administered by the Director may project into southern front or rear setbacks. Those that begin at 8 feet or more above finished grade may be no closer than 3 feet from the lot line. Sunshades that are between finished grade and 8 feet above finished grade may be no closer than 5 feet to the lot line.
3.
Solar collectors on roofs. Solar collectors that are located on a roof are permitted as follows:
a.
In LR zones up to 4 feet above the maximum height limit or 4 feet above the height of stair or elevator penthouse(s), whichever is higher; and
b.
In MR and HR zones up to 10 feet above the maximum height limit or 10 feet above the height of stair or elevator penthouse(s), whichever is higher.
c.
If the solar collectors would cause an existing structure to become nonconforming, or increase an existing nonconformity, the Director may permit the solar collectors as a special exception pursuant to Chapter 23.76. Solar collectors may be permitted under this subsection 23.45.545.C.3.c even if the structure exceeds the height limits established in this subsection 23.45.545.C.3, if the following conditions are met:
1)
There is no feasible alternative solution to placing the collector(s) on the roof; and
2)
The collector(s) are located so as to minimize view blockage from surrounding properties and the shading of property to the north, while still providing adequate solar access for the solar collectors.
D.
[Reserved.]
E.
Nonconforming solar collectors. The Director may permit the installation of solar collectors that meet minimum energy standards and that increase an existing nonconformity as a special exception pursuant to Chapter 23.76. Such an installation may be permitted even if it exceeds the height limits established in Section and 23.45.514 when the following conditions are met:
1.
There is no feasible alternative solution to placing the collector(s) on the roof; and
2.
Such collector(s) are located so as to minimize view blockage from surrounding properties and the shading of property to the north, while still providing adequate solar access for the solar collectors.
F.
Open wet moorage facilities for residential uses are permitted as an accessory use pursuant to Chapter 23.60A, Shoreline District, if only one slip per residential unit is provided.
G.
Bed and breakfast uses. A bed and breakfast use may be operated under the following conditions:
1.
The bed and breakfast use has a valid business license tax certificate issued by the Department of Finance and Administrative Services;
2.
All operators of bed and breakfast uses who use a short-term rental platform for listing the bed and breakfast shall have a valid short-term rental operator's license issued by the Department of Finance and Administrative Services.
3.
The bed and breakfast use shall be operated by the primary resident of the dwelling unit where the bed and breakfast is located or the resident operator;
4.
There shall be no evidence of a bed and breakfast use visible from the exterior of the dwelling unit other than a sign permitted by subsection 23.55.022.D.1; and
5.
A bed and breakfast use may be located in a dwelling unit or an accessory dwelling unit.
H.
Heat recovery incinerators, located on the same lot as the principal use, may be permitted by the Director as accessory administrative conditional uses, pursuant to Section 23.45.506.
I.
Accessory dwelling units are allowed pursuant to Section 23.42.022.
J.
Urban farms are subject to the standards in Section 23.42.051 and the conditional use requirement in subsection 23.45.504.C.8.
(Ord. 127211, § 14, 2025; Ord. 127099, § 21, 2024; Ord. 126600, § 4, 2022; Ord. 126157, § 22, 2020; Ord. 125854, § 6, 2019; Ord. 125791, § 47, 2019; Ord. 125603, § 23, 2018; Ord. 125483, § 4, 2017; Ord. 124378, § 36, 2013; Ord. 124105, § 22, 2013; Ord. 123939, § 10, 2012; Ord. 123495, § 44, 2011; Ord. 123378, § 15, 2010; Ord. 123209, § 45, 2009.)
In lieu of meeting development standards contained in subsections 23.45.510.B and 23.45.510.C (floor area), subsections 23.45.512.A and 23.45.512.B (density), and subsections 23.45.514.A and 23.45.514.B (height), a proposed development that meets the requirements of Section 23.42.055 may elect to meet the alternative development standards in this Section 23.45.550.
A.
Floor area
1.
Development permitted pursuant to Section 23.42.055 is subject to the FAR limits as shown in Table A for 23.45.550.
2.
In addition to the FAR exemptions in subsection 23.45.510.D, an additional FAR exemption up to the total amount specified in Table A for 23.45.550 is allowed for any combination of the following floor area:
a.
Floor area in units with two or more bedrooms and a minimum net unit area of 850 square feet;
b.
Floor area of a religious facility; and
c.
Floor area in a structure designated as a Landmark pursuant to Chapter 25.12; and
d.
Any floor area in a development located within 1/4 mile (1,320 feet) of a transit stop or station served by a frequent transit route as defined in subsection 23.54.015.B.4.
3.
Split-zoned lots
a.
On lots located in two or more zones, the FAR limit for the entire lot shall be the highest FAR limit of all zones in which the lot is located, provided that:
1)
At least 65 percent of the total lot area is in the zone with the highest FAR limit;
2)
No portion of the lot is located in a neighborhood residential zone; and
3)
A minimum setback of 10 feet applies for any lot line that abuts a lot in a neighborhood residential zone.
b.
For the purposes of this subsection 23.45.550.A.3, the calculation of the percentage of a lot or lots located in two or more zones may include lots that abut and are in the same ownership at the time of the permit application.
B.
Maximum height
1.
Development permitted pursuant to Section 23.42.055 is subject to the height limits as shown in Table B for 23.45.550.
2.
Split-zoned lots
a.
On lots located in two or more zones, the height limit for the entire lot shall be the highest height limit of all zones in which the lot is located, provided that:
1)
At least 65 percent of the total lot area is in the zone with the highest height limit;
2)
No portion of the lot is located in a neighborhood residential zone; and
3)
A minimum setback of 10 feet applies for any lot line that abuts a lot in a neighborhood residential zone.
b.
For the purposes of this subsection 23.45.550.B.2, the calculation of the percentage of a lot or lots located in two or more zones may include lots that abut and are in the same ownership at the time of the permit application.
C.
Density limits. Development permitted pursuant to this Section 23.45.550 is not subject to the standards of subsections 23.45.512.A and 23.45.512.B.
(Ord. 126855, § 1, 2023 [amended title]; Ord. 126509, § 64, 2022 [zone name change]; Ord. 126384, § 6, 2021.)
A.
General provisions
1.
The establishment of new institutions, such as religious facilities, community centers, private schools, and child care centers in multifamily zones, is permitted pursuant to Section 23.45.504.
2.
Public schools are permitted as regulated in Chapter 23.51B.
3.
If the expansion of an existing institution meets all development standards of this Section 23.45.570, it is permitted outright. Expansions not meeting development standards may be permitted as administrative conditional uses subject to the requirements of Section 23.45.506. Structural work that does not increase usable floor area or seating capacity and does not exceed the height limit is not considered expansion. Such work includes but is not limited to roof repair or replacement, and construction of uncovered decks and porches, bay windows, dormers, and eaves. The establishment of a child care center in a legally established institution devoted to the care or instruction of children or establishment of a shelter for homeless youths and young adults in a legally established institution devoted to the care or instruction of children, are not considered new uses or an expansion of the institutional use, if shelter occupants are enrolled students of the institution and if these uses do not require expansion of the existing structure or violate any condition of approval of the existing institutional use.
4.
The provisions of this Chapter 23.45 apply to Major Institution uses as provided in Chapter 23.69, Major Institution Overlay District.
B.
Institutions located in LR zones shall meet the development standards of this Section 23.45.570. Institutions located in MR and HR zones shall meet the development standards of the zone, and shall also meet the standards for parking, dispersion, and odors in subsections G, J, and H of this Section 23.45.570.
C.
Height limits in Lowrise zones.
1.
The height limit for institutions shall be the height limit for apartments in the applicable zone, except as provided in this subsection 23.45.570.C.
2.
In LR1 and LR2 zones, for gymnasiums, auditoriums, and wood shops that are accessory to an institution, the maximum permitted height is 35 feet if all portions of the structure above the height limit of the zone are set back at least 20 feet from all lot lines. Pitched roofs on the auditorium, gymnasium or wood shop with a slope of not less than 4:12 may extend 10 feet above the 35-foot height limit. No portion of a shed roof on a gymnasium, auditorium or wood shop is permitted to extend beyond 35 feet.
3.
In LR3 zones, pitched roofs on an auditorium, gymnasium, or wood shop with a slope of not less than 4:12 may extend 10 feet above the height limit, except that no portion of a shed roof is permitted to extend beyond the height limit.
D.
Structure width in Lowrise zones.
1.
The maximum permitted width for structures in institutional use in Lowrise zones is as shown in Table A for 23.45.570.
2.
In order to achieve the maximum width permitted in each zone, institutional structures are required to reduce the appearance of bulk by providing landscaping that achieves a Green Factor score of .5 or greater, pursuant to the standards set forth in Section 23.86.019.
E.
Structure Depth in Lowrise zones. The maximum permitted depth of institutional structures is 65 percent of lot depth.
F.
Setback requirements in LR zones
1.
Front setback. The average front setback is 10 feet, and the minimum front setback is 5 feet.
2.
Rear setback. The minimum rear setback is 10 feet.
3.
Side setback
a.
The minimum side setback is 5 feet.
b.
If the depth of a structure exceeds 65 feet, an additional side setback is required for that portion of the structure in excess of 65 feet, according to Table B for 23.45.570. In lieu of providing the additional setback for the portion of the structure in excess of 65 feet deep, a lesser side setback may be provided for the portion in excess of 65 feet deep if the average setback for the entire structure is no less than the average of the setback required by subsection 23.45.570.F.3.a and the setback required under Table B for 23.45.570.
4.
Setbacks for specific items. The following shall be located at least 20 feet from any abutting residentially zoned lot:
a.
Emergency entrances;
b.
Main entrance door of the institutional structure;
c.
Operable window of gymnasium, assembly hall, or sanctuary;
d.
Garbage and trash disposal mechanism;
e.
Kitchen ventilation;
f.
Air-conditioning or heating mechanism;
g.
Similar mechanisms and features causing noise and/or odors as determined by the Director.
5.
Accessory structures and projections from principal structures are allowed in required setbacks on lots developed with institutional uses to the same extent that those accessory structures or projections would be allowed for apartments in the zone, except that no accessory structures other than freestanding walls, fences, bulkheads, or similar structures shall be closer than 10 feet to a side lot line abutting another lot in a residential zone.
G.
Parking
1.
Parking quantity. Parking and loading is required pursuant to Section 23.54.015, except as modified by Section 23.54.020.
2.
Location of parking. Parking areas and facilities may be located anywhere on the lot except in the required front setback or side street side setback.
3.
Screening of surface parking areas. Surface parking areas for more than five vehicles shall be screened in accordance with the following requirements and the provisions of Section 23.45.524.
a.
Screening shall be provided on each side of the parking area that abuts, or faces across a street, alley, or access easement, a lot in a residential zone.
b.
Screening shall consist of a fence, solid evergreen hedge or wall between 4 and 6 feet in height. Sight triangles must be provided. Fences surrounding sports fields/recreation areas may be 8 feet high. The Director may permit higher fencing when necessary for sports fields.
c.
The height of the visual barrier created by the screen required in subsection 23.45.570.G.3 shall be measured from street level. If the elevation of the lot line is different from the finished elevation of the parking surface, the difference in elevation may be measured as a portion of the required height of the screen, so long as the screen itself is a minimum of 3 feet in height.
4.
Landscaping of surface parking. Accessory surface parking areas for more than 20 vehicles shall be landscaped according to the following requirements:
a.
One tree per every five parking spaces is required.
b.
Each required tree shall be planted in a landscaped area and shall be 3 feet away from any curb of a landscaped area or edge of the parking area. Permanent curbs or structural barriers shall protect landscaping, but may include openings to allow movement of stormwater.
c.
Hardy evergreen ground cover shall be planted to cover each landscaped area.
d.
The trees and landscaped areas shall be located within the parking area to break up large expanses of pavement and cars.
H.
Odors. The venting of odors, vapors, smoke, cinders, dust, gas and fumes shall be at least ten feet above finished sidewalk grade, and directed away to the extent possible from residential uses within 50 feet of the vent.
I.
Light and Glare.
1.
Exterior lighting for institutions shall be shielded or directed away from principal structures on adjacent residential lots.
2.
Poles for freestanding exterior lighting are permitted up to a maximum height of 30 feet. Light poles for illumination of athletic fields on new and existing public school sites will be allowed to exceed 30 feet pursuant to Chapter 23.51B, Public schools.
J.
Dispersion. The lot line of any new or expanding institution other than child care centers shall be located 600 feet or more from any lot line of any other institution in a residential zone with the following exceptions:
1.
An institution may expand even though it is within 600 feet of a public school if the public school is constructed on a new site subsequent to December 12, 1985.
2.
A proposed institution may be located less than 600 feet from a lot line of another institution if the Director determines that the intent of dispersion is achieved due to the presence of physical elements such as bodies of water, large open spaces or topographical breaks, or other elements such as arterials, freeways, or nonresidential uses, that provide substantial separation from other institutions.
(Ord. 126858, § 3, 2023; Ord. 126131, § 5, 2020; Ord. 125603, § 24, 2018; Ord. 125558, § 10, 2018; Ord. 125272, § 23, 2017; Ord. 124843, § 27, 2015; Ord. 124378, § 37, 2013; Ord. 123495, § 45, 2011; Ord. 123209, § 48, 2009.)
A.
In addition to the requirements of subsection 23.45.574.B, assisted living facilities are subject to the development standards for apartments for the zone in which they are located, except that density limits and amenity area requirements do not apply to assisted living facilities.
B.
Other requirements
1.
Facility kitchen. An on-site kitchen that serves the entire assisted living facility is required.
2.
Communal area. Communal areas that are either interior or exterior spaces, such as solariums, decks and porches, recreation rooms, dining rooms, living rooms, foyers and lobbies, and gardens or other outdoor landscaped areas shall be provided as follows:
a.
The total amount of communal area shall, at a minimum, equal 5 percent of the total floor area in assisted living units, or 25 percent of the lot area, whichever is less. In calculating the total floor area in assisted living units, all of the area of each unit, excluding the bathroom, is counted, including counters, closets and built-ins;
b.
Service areas, including, but not limited to, the facility kitchen, laundry, hallways and corridors, supply closets, operations and maintenance areas, staff areas and offices, and rooms used only for counseling or medical services, shall not be counted as required communal area;
c.
A minimum of 400 square feet of the required communal area shall be provided as an outdoor area with a minimum dimension of 10 feet. Outdoor areas provided as required communal area shall be accessible to people with disabilities; and
d.
Adequate seating for residents and guests shall be provided in required communal areas.
(Ord. 124172, § 6, 2013; Ord. 123495, § 46, 2011; Ord. No. 123209, § 49, 2009.)
A.
The establishment of new or expansion of existing public or private parks and playgrounds, including customary structures and activities, shall be permitted outright in all multifamily zones.
B.
The following accessory uses shall be permitted in any park or playground if located within a structure or on a terrace abutting the structure. If located within 100 feet from any lot in a residential zone the use shall be completely enclosed.
1.
The sale and consumption of beer during daylight hours;
2.
The sale and consumption of alcoholic beverages under a Class H liquor license at municipal golf courses during established hours of operation.
C.
Storage structures and areas and other structures and activities customarily associated with parks and playgrounds are subject to the following development standards in addition to the general development standards for accessory uses:
1.
Any active play area shall be located 30 feet or more from any lot in a neighborhood residential zone.
2.
Garages and service or storage areas shall be screened from view from abutting lots in residential zones.
(Ord. 126509, § 65, 2022 [zone name change]; Ord. No. 123209, § 50, 2009.)
The keeping of animals is regulated by Section 23.42.052, Keeping of Animals.
(Ord. No. 123209, § 46, 2009.)
Home occupations are regulated by Section 23.42.050, Home Occupations.
(Ord. No. 123209, § 47, 2009.)
Transitional encampments accessory to religious facilities or to principal uses located on property owned or controlled by a religious organization are regulated by Section 23.42.054, Transitional Encampments Accessory to Religious Facilities.
(Ord. 123729, § 4, 2011.)
A.
In a Midrise zone, an applicant may seek approval of a Major Phased Development. A Major Phased Development proposal is subject to the provisions of the zone and shall meet the following thresholds:
1.
Minimum site size of 5 acres, composed of contiguous parcels or parcels divided only by one or more rights-of-way.
2.
The proposed project at time of application is a single, functionally interrelated campus, contains more than one building, with a minimum total number of 500 dwelling units, and will meet Mandatory Housing Affordability requirements pursuant to Section 23.58C.005 using the performance option on site.
3.
The first phase of the development consists of at least 100 dwelling units.
4.
At time of application, the project is consistent with the general character of development anticipated by Land Use Code regulations.
5.
The site shall be within 2,640 feet of an existing or planned light rail station.
B.
A Major Phased Development application shall be submitted, evaluated, and approved according to the following:
1.
The application shall contain a level of detail that is sufficient to reasonably assess anticipated impacts, including those associated with a maximum build-out, within the timeframe requested for Master Use Permit extension.
2.
A Major Phased Development component shall not be approved unless the Director concludes that anticipated environmental impacts, such as traffic, open space, shadows, construction impacts and air quality, are not significant or can be effectively monitored and conditions imposed to mitigate impacts over the extended life of the permit, or any such impacts have been addressed through the State Environmental Policy Act (SEPA).
3.
Expiration or renewal of a permit for the first phase of a Major Phased Development is subject to the provisions of Chapter 23.76. The Director shall determine the expiration date of a permit for subsequent phases of the Major Phased Development through the analysis provided for above; such expiration shall be no later than 15 years from the date of issuance.
C.
Changes to the approved Major Phased Development
1.
When an amendment to a Master Use Permit with a Major Phased Development component is requested, the Director shall determine whether the amendment is minor or not.
a.
A minor amendment is one that meets the following criteria:
1)
Substantial compliance with the approved site plan and conditions imposed in the existing Master Use Permit with the Major Phased Development component with no substantial change in the mix of uses and no major departure from the bulk and scale of structures originally proposed; and
2)
Compliance with applicable requirements of this Title 23 in effect at the time of the original Master Use Permit approval; and
3)
No significantly greater impact would occur.
2.
If the Director determines that the amendment is minor, the Director may approve a revised site plan as a Type I decision. The Master Use Permit expiration date of the original approval shall be retained.
3.
If the Director determines that the amendment is not minor, the applicant may either continue under the existing Major Phased Development approval or may submit a revised Major Phased Development application. The revised application shall be the subject of a Type II decision. Only the portion of the site affected by the revision shall be subject to regulations in effect on the date of the revised Major Phased Development application, notwithstanding any provision of Chapter 23.76. The decision may retain or extend the existing expiration date on the portion of the site affected by the revision.
(Ord. 126685, § 25, 2022.)