48 - SEATTLE MIXED
A.
This Chapter 23.48 identifies uses that are or may be permitted in all Seattle Mixed zones and establishes development standards. The Seattle Mixed zone boundaries are shown on the Official Land Use Map. Seattle Mixed zone designations for specific geographic areas are identified in Table A for 23.48.002. The SM-SLU designation with a height limit suffix may be applied to SM-SLU zoned land in the South Lake Union Urban Center. The SM-D designation with a height limit range may be applied to SM-D zoned land in the West Dravus area. The SM-NR designation with a height limit suffix may be applied to SM-NR zoned land in the North Rainier area. The SM-U designation with a height limit suffix may be applied to SM-U zoned land in the University Community Urban Center. The SM-UP designation with a height limit suffix may be applied to SM-UP zoned land in the Uptown Urban Center. The SM-RB designation with a height limit suffix may be applied to SM-RB zoned land in the Rainier Beach Urban Village. The SM-NG designation with a height limit suffix may be applied to SM-NG zoned land in the Northgate Urban Center.
B.
Some land in these zones may be regulated by Subtitle III, Division 3, Overlay Districts, of this Title 23.
C.
The provisions of this Subchapter I of Chapter 23.48 are applicable to all Seattle Mixed zones, including Seattle Mixed zones in geographic areas shown on Table A for 23.48.002. Supplemental regulations for Seattle Mixed zones in specific geographic areas are provided for in the subsequent subchapters of this Chapter 23.48. To the extent provisions in a supplemental subchapter conflict with provisions in this Subchapter I, the provisions of the supplemental subchapter shall prevail.
D.
Other regulations, including but not limited to general use provisions (Chapter 23.42); requirements for streets, alleys, and easements (Chapter 23.53); standards for parking quantity, access, and design (Chapter 23.54); standards for solid waste storage (Chapter 23.54); signs (Chapter 23.55); communication regulations (Chapter 23.57); and measurements (Chapter 23.86) may apply to development proposals.
(Ord. 125792, § 3, 2019; Ord. 125791, § 56, 2019; Ord. 125432, § 6, 2017; Ord. 125267, § 16, 2017; Ord. 124969, § 7, 2016; Ord. 124883, § 13, 2015.)
A.
Permitted uses
1.
All uses are permitted outright, either as principal or accessory uses, except those specifically prohibited by subsection 23.48.005.B and those permitted only as conditional uses by subsection 23.48.005.C.
2.
Adult cabarets shall comply with the requirements of subsection 23.47A.004.H.
3.
Major cannabis activity shall comply with the requirements of Section 23.42.058.
B.
Prohibited uses. The following uses are prohibited as both principal and accessory uses, except as otherwise noted:
1.
All high-impact uses;
2.
All heavy manufacturing uses;
3.
General manufacturing uses, greater than 25,000 square feet of gross floor area for an individual business establishment, except for pharmaceutical production;
4.
Drive-in businesses, except gas stations;
5.
Jails;
6.
Adult motion picture theaters and adult panorams;
7.
Outdoor storage, except for outdoor storage associated with florists and horticulture uses;
8.
Principal use surface parking;
9.
Animal shelters and kennels;
10.
Animal husbandry;
11.
Park and pool lots;
12.
Park and ride lots;
13.
Work release centers;
14.
Recycling;
15.
Solid waste management; and
16.
Mobile home parks.
C.
Conditional uses
1.
Conditional uses are subject to the procedures described in Chapter 23.76 and shall meet the provisions of both Section 23.42.042 and this subsection 23.48.005.C.
2.
Mini-warehouses and warehouses may be permitted by the Director as administrative conditional uses if:
a.
The street-level portion of a mini-warehouse or warehouse only fronts on an east/west oriented street, or an alley; and
b.
Vehicular entrances, including those for loading operations, will not disrupt traffic or transit routes; and
c.
The traffic generated will not disrupt the pedestrian character of an area by significantly increasing the potential for pedestrian-vehicle conflicts.
3.
Helistops and heliports may be permitted as Council conditional uses according to the following criteria:
a.
The helistop or heliport is: for the takeoff and landing of helicopters that serve a public safety, news gathering or emergency medical care function and, in the case of heliports, services provided for those helicopters; is part of a City and regional transportation plan approved by the City Council and is a public facility; or is part of a City and regional transportation plan approved by the City Council and is not within 2,000 feet of a residential zone.
b.
The helistop or heliport is located so as to minimize adverse physical environmental impacts on lots in the surrounding area, and particularly on residentially zoned lots, public parks, and other areas where substantial public gatherings may be held.
c.
The lot is of sufficient size that the operations of the helistop or heliport and the flight paths of the helicopters can be buffered from other uses in the surrounding area.
d.
Open areas and landing pads shall be hard-surfaced.
e.
The helistop or heliport meets all federal requirements including those for safety, glide angles, and approach lanes.
D.
Required street-level uses
1.
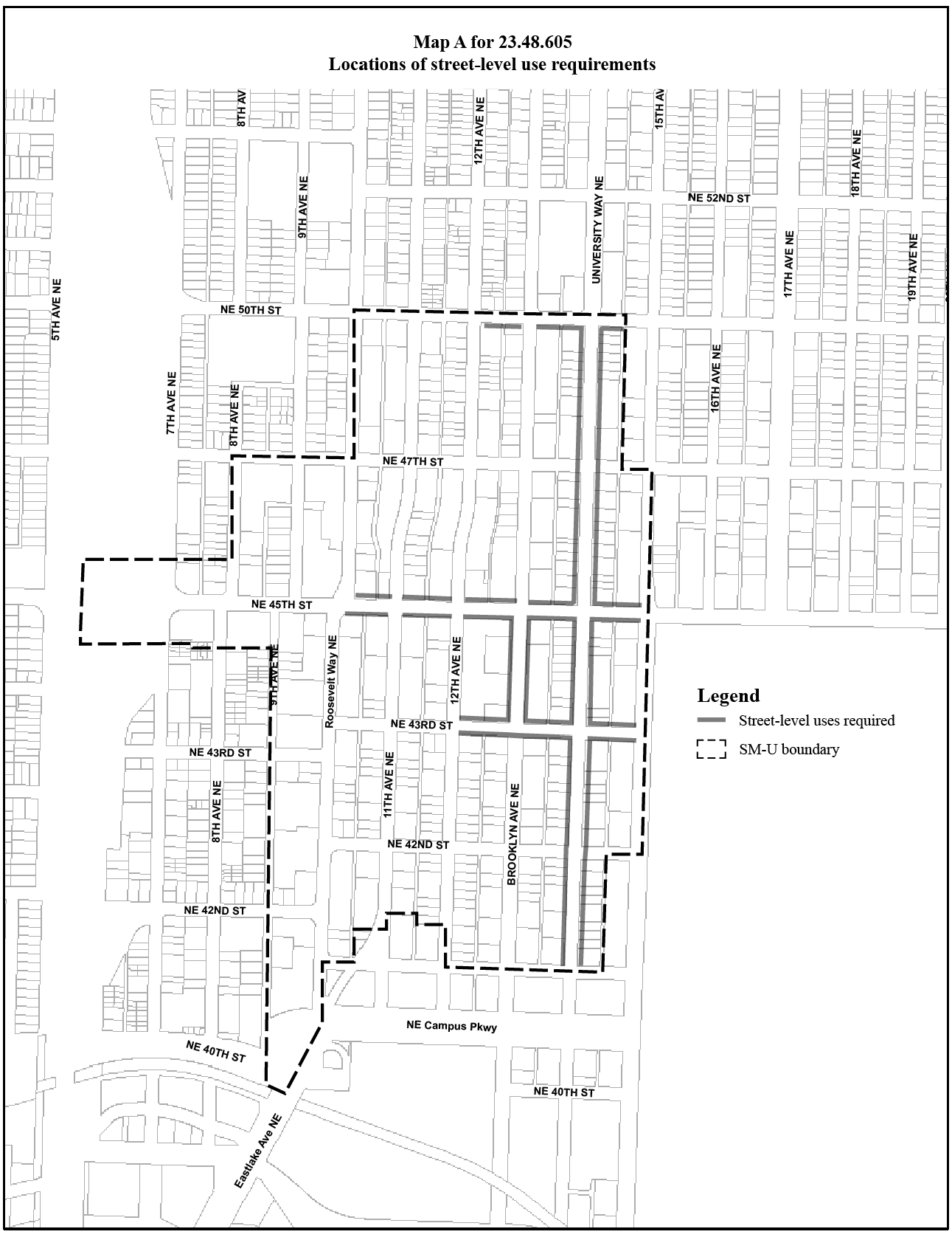
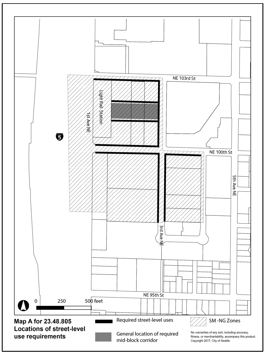
One or more of the following uses listed in this subsection 23.48.005.D.1 are required, except as permitted by Section 23.42.041 for uses provided for interim street activation purposes that apply in the Uptown and South Lake Union Urban Centers: (i) at street level of the street-facing facade along streets designated as Class 1 Pedestrian Streets shown on Map A for 23.48.240, except as required in subsection 23.48.205.C; (ii) at street level of the street-facing facades along streets designated on Map A for 23.48.640; and (iii) at street level of the street-facing facades along streets designated as Class 1 or Class 2 streets shown on Map A for 23.48.740:
a.
General sales and service uses;
b.
Eating and drinking establishments;
c.
Entertainment uses;
d.
Public libraries;
e.
Public parks;
f.
Arts facilities;
g.
Religious facilities;
h.
Light rail transit stations;
i.
Child care centers; and
j.
Low-income housing.
2.
Standards for required street-level uses. Required street-level uses shall meet the development standards in subsection 23.48.040.C, and any additional standards for Seattle Mixed zones in specific geographic areas in the applicable subchapter of this Chapter 23.48.
E.
Public facilities in all SM zones
1.
Uses in public facilities that are most similar to uses permitted outright or permitted as a conditional use under this Chapter 23.48 are permitted outright or as a conditional use, respectively, subject to the same use regulations, development standards, and conditional use criteria that govern the similar uses.
2.
Permitted uses in public facilities requiring council approval. Unless specifically prohibited in this Chapter 23.48, uses in public facilities that are not similar to uses permitted outright or permitted as a conditional use under this Chapter 23.48 may be permitted by the Council.
3.
In all SM zones, uses in public facilities not meeting development standards may be permitted by the Council, and the Council may waive or grant departures from development standards, if the following criteria are satisfied:
a.
The project provides unique services that are not provided to the community by the private sector, such as police and fire stations;
b.
The proposed location is required to meet specific public service delivery needs;
c.
The waiver of or departure from the development standards is necessary to meet specific public service delivery needs; and
d.
The relationship of the project to the surrounding area has been considered in the design, siting, landscaping, and screening of the facility.
4.
The Council's use approvals, and waivers of or grants of departures from applicable development standards or conditional use criteria, contemplated by subsections 23.48.005.E.2 and 23.48.005.E.3, are governed by the provisions of Chapter 23.76, Subchapter III.
5.
Expansion of uses in public facilities
a.
Major expansion. Major expansion of uses in public facilities allowed pursuant to subsections 23.48.005.E.1, 23.48.005.E.2, and 23.48.005.E.3 may be permitted according to the criteria and process in those subsections 23.48.005.E.1, 23.48.005.E.2, and 23.48.005.E.3. A major expansion of a public facility use occurs when an expansion would not meet development standards or the area of the expansion would exceed either 750 square feet or ten percent of the existing area of the use, whichever is greater. For the purposes of this Section 23.48.005, area of use includes gross floor area and outdoor area devoted actively to that use, other than as parking.
b.
Minor expansion. An expansion of a use in a public facility that is not a major expansion is a minor expansion. Minor expansions to uses in public facilities allowed pursuant to subsections 23.48.005.E.1, 23.48.005.E.2, and 23.48.005.E.3 above may be permitted according to the provisions of Chapter 23.76 for a Type I Master Use Permit.
6.
Essential public facilities. Permitted essential public facilities, except for light rail transit facilities, shall be reviewed according to the provisions of Chapter 23.80. Light rail transit facilities are exempt from the development standards in this Chapter 23.48 and shall be reviewed according to the provisions of Chapter 23.80.
(Ord. 127228, § 8, 2025; Ord. 127198, § 3, 2025; Ord. 127099, § 26, 2024; Ord. 126855, § 20, 2023; Ord. 126287, § 7, 2021; Ord. 126131, § 8, 2020; Ord. 125603, § 31, 2018; Ord. 125432, § 7, 2017; Ord. 125267, § 17, 2017; Ord. 124969, § 8, 2016; Ord. 124883, § 13, 2015.)
A.
An applicant may seek approval of a Major Phased Development, as defined in Section 23.84A.025. A Major Phased Development proposal is subject to the provisions of the zone in which it is located and shall meet the following thresholds:
1.
Minimum site size of 5 acres, composed of contiguous parcels or parcels divided only by one or more rights-of-way.
2.
The proposed project, which at time of application is a single, functionally interrelated campus, contains more than one building, with a minimum total gross floor area of 200,000 square feet.
3.
The first phase of the development consists of at least 100,000 square feet in gross building floor area.
4.
At the time of application, the project is consistent with the general character of development anticipated by Land Use Code regulations.
B.
A Major Phased Development application shall be submitted, evaluated, and approved according to the following:
1.
The application shall contain a level of detail that is sufficient to reasonably assess anticipated impacts, including those associated with a maximum build-out, within the timeframe requested for Master Use Permit extension.
2.
A Major Phased Development component shall not be approved unless the Director concludes that anticipated environmental impacts, such as traffic, open space, shadows, construction impacts and air quality, are not significant or can be effectively monitored and conditions imposed to mitigate impacts over the extended life of the permit.
3.
Expiration or renewal of a permit for the first phase of a Major Phased Development is subject to the provisions of Chapter 23.76. The Director shall determine the expiration date of a permit for subsequent phases of the Major Phased Development through the analysis provided for above; such expiration shall be no later than 15 years from the date of issuance.
C.
Changes to the approved Major Phased Development
1.
When an amendment to a Master Use Permit with a Major Phased Development component is requested, the Director shall determine whether the amendment is minor or not.
a.
A minor amendment is one that meets the following criteria:
1)
Substantial compliance with the approved site plan and conditions imposed in the existing Master Use Permit with the Major Phased Development component with no substantial change in the mix of uses and no major departure from the bulk and scale of structures originally proposed; and
2)
Compliance with applicable requirements of this Title 23 in effect at the time of the original Master Use Permit approval; and
3)
No significantly greater impact would occur.
2.
If the Director determines that the amendment is minor, the Director may approve a revised site plan as a Type I decision. The Master Use Permit expiration date of the original approval shall be retained.
3.
If the Director determines that the amendment is not minor, the applicant may either continue under the existing Major Phased Development approval or may submit a revised Major Phased Development application. The revised application shall be the subject of a Type II decision. Only the portion of the site affected by the revision shall be subject to regulations in effect on the date of the revised Major Phased Development application, notwithstanding any provision of Chapter 23.76. The decision may retain or extend the existing expiration date on the portion of the site affected by the revision.
(Ord. 126157, § 27, 2020.)
If an historic Landmark structure is relocated within an SM zone, the structure need not comply with development standards of the zone if the Director waives compliance with a development standard or standards in order to facilitate relocation and preservation of landmarks.
(Ord. 124883, § 13, 2015.)
A.
General provisions
1.
All gross floor area not exempt under subsection 23.48.020.B counts toward the gross floor area allowed under the FAR limits.
2.
The applicable FAR limit applies to the total non-exempt gross floor area of all structures on the lot.
3.
If a lot is in more than one zone, the FAR limit for each zone applies to the portion of the lot located in that zone.
B.
Floor area exempt from FAR calculations. The following floor area is exempt from maximum FAR calculations:
1.
All underground stories or portions of stories.
2.
Portions of a story that extend no more than 4 feet above existing or finished grade, whichever is lower, excluding access.
3.
As an allowance for mechanical equipment, in any structure 65 feet in height or more, 3.5 percent of the total chargeable gross floor area in a structure is exempt from FAR calculations. Calculation of the allowance includes the remaining gross floor area after all exempt space allowed in this subsection 23.48.020.B has been deducted. Mechanical equipment located on the roof of a structure, whether enclosed or not, is not included as part of the calculation of total gross floor area.
4.
All gross floor area for solar collectors and wind-driven power generators.
5.
Bicycle commuter shower facilities required by subsection 23.54.015.K.8.
6.
The floor area of required bicycle parking for small efficiency dwelling units or congregate residence sleeping rooms, if the bicycle parking is located within the structure containing the small efficiency dwelling units or congregate residence sleeping rooms. Floor area of bicycle parking that is provided beyond the required bicycle parking is not exempt from FAR limits.
7.
Child care centers.
8.
In low-income housing, all gross floor area for accessory human service uses.
9.
Other uses permitted by interim street activation provisions in Section 23.42.041.
C.
Minimum FAR
1.
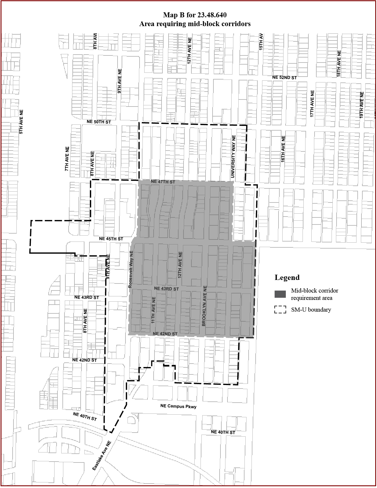
A minimum FAR shown in Table A for 23.48.020 is required whenever more than 1,000 square feet of gross floor area is added to or removed from a lot located in a Station Area Overlay District or on a lot abutting a Class 1 or Class 2 Pedestrian Street or a Neighborhood Green Street, as shown on Map A for 23.48.240 for SM-SLU zones, Map A for 23.48.440 for SM-NR zones, Map A for 23.48.640 for SM-U zones, and Map A for 23.48.740 for SM-UP zones.
2.
The minimum FAR requirement provided in subsection 23.48.020.C.1 does not apply if:
a.
Additional floor area is added to an existing structure on a lot that is nonconforming with respect to the minimum FAR shown in Table A for 23.48.020;
b.
The lot is larger than 5 acres;
c.
All existing gross floor area is demolished to create a vacant lot; or
d.
Parks and open space is the principal use of the lot.
3.
Portions of the lot designated as a steep slope, wetland, or riparian corridor or as a buffer to one of these areas, as defined in Chapter 25.09, are not included when calculating lot size for the purpose of determining the minimum FAR requirement provided in subsection 23.48.020.C.1.
4.
The Director, in consultation with the Director of the Department of Neighborhoods, may waive the minimum FAR requirement in subsection 23.48.020.C.1 for lots that contain a designated Landmark, or for lots within a Landmark District pursuant to Title 25 or within a Special Review District pursuant to Chapter 23.66, if the Director determines a waiver is necessary to preserve the integrity of a Landmark or meet adopted District design and development guidelines.
5.
All gross floor area is counted toward the minimum FAR requirement provided in subsection 23.48.020.C.1, except the following:
a.
Gross floor area below grade, including all underground stories or portions of stories; and
b.
Gross floor area containing parking.
(Ord. 127198, § 4, 2025; Ord. 126855, § 21, 2023; Ord. 126287, § 8, 2021; Ord. 126157, § 28, 2020; Ord. 125603, § 32, 2018; Ord. 125558, § 18, 2018; Ord. 125432, § 8, 2017; Ord. 125272, § 31, 2017; Ord. 125267, § 18, 2017; Ord. 124883, § 13, 2015.)
A.
General
1.
Development achieving extra floor area under Section 23.48.025 shall provide public amenities according to the standards of this Section 23.48.021 and Chapter 23.58A. If the development is not located within an adopted Local Infrastructure Project Area as per Map A for 23.58A.044, extra floor area shall be achieved through the requirements of subsection 23.48.021.B. If the development is located within an adopted Local Infrastructure Project Area, extra floor area shall be achieved through the requirements of subsection 23.48.021.C.
2.
Development achieving extra floor area in Seattle Mixed zones shall meet the conditions of this Section 23.48.021 and provide public amenities according to the standards of this Section 23.48.021 and Chapter 23.58A, except where supplemented in the applicable subchapter.
3.
Definitions in Section 23.58A.004 apply in this Section 23.48.021 unless otherwise specified.
B.
Calculation outside of specific areas
1.
Means to achieve extra residential floor area. If the maximum height limit for residential use is 85 feet or lower or the lot is located outside of the South Lake Union Urban Center, SM-U zones, and the Mount Baker Station Area Overlay District, the applicant shall use bonus residential floor area for affordable housing pursuant to Section 23.58A.014 to achieve all extra residential floor area on the lot.
2.
Means to achieve extra non-residential floor area. If the maximum height limit for non-residential use is 85 feet or lower or the lot is located outside of the South Lake Union Urban Center, SM-U zones, and the Mount Baker Station Area Overlay District, the applicant shall use bonus non-residential floor area for affordable housing and child care pursuant to Section 23.58A.024 to achieve all extra non-residential floor area on the lot.
C.
Calculation within an adopted Local Infrastructure Project Area
1.
Means to achieve extra residential floor area. If the maximum height limit for residential use is 85 feet or lower, the applicant shall use bonus residential floor area for affordable housing pursuant to Section 23.58A.014 to achieve all extra residential floor area on the lot. If the maximum height limit for residential use is greater than 85 feet, the applicant shall:
a.
Achieve 60 percent of the extra residential floor area on the lot by using bonus residential floor area for affordable housing pursuant to Section 23.58A.014; and
b.
Achieve 40 percent of extra residential floor area by acquiring regional development credits pursuant to Section 23.58A.044, except that a development that is located in the area bounded by Thomas Street to the north, Denny Way to the south, Terry Avenue N to the west, and Boren Avenue N to the east, on a lot that has slopes of ten percent or more, may achieve 20 percent of extra residential floor area by acquiring regional development credits pursuant to Section 23.58A.044 and 20 percent of extra residential floor area by providing public amenities consisting of a mid-block corridor, a hillclimb assist, and a public viewpoint that meet the following standards:
1)
The mid-block corridor, hillclimb assist, and public viewpoint may be used to achieve extra residential floor area according to a ratio of 20 square feet of extra residential floor area per 1 square foot of qualifying mid-block corridor, hillclimb assist, and public viewpoint area.
2)
The amenities shall meet the general eligibility conditions for amenity features in the Downtown Amenity Standards and the standards in subsections 23.58A.040.C.5.g, 23.58A.040.C.5.h, and 23.58A.040.C.5.i; provided that the mid-block corridor, hillclimb assist, and public viewpoint shall be considered open space amenity features for purposes of the general eligibility conditions for amenity features in the Downtown Amenity Standards.
3)
The mid-block corridor shall:
a)
Be consistent with the size and coverage requirements, and the landscaping and lighting guidelines, for mid-block corridors in the Downtown Amenity Standards;
b)
Provide a continuous direct route connecting Terry Avenue N and Boren Avenue N; and
c)
Incorporate a mechanical conveyance, such as an elevator, for conveying pedestrians up the vertical distance between the elevations of Terry Avenue N and Boren Avenue N.
4)
The hillclimb assist shall:
a)
Be consistent with the eligibility conditions for hillclimb assists in the Downtown Amenity Standards, except that an elevator may qualify as the required mechanical conveyance.
b)
Be consistent with the guideline requirements for hillclimb assists in the Downtown Amenity Standards except that at least 65 percent of the travel path must be open to the sky; and any covered portions of the corridor must have a minimum height of 13 feet between the ground and any overhead projection or overhanging structure.
5)
The viewpoint shall provide public views of significant natural and human-made features, and shall meet the requirements for an additional open space area abutting the mid-block corridor specified in the Downtown Amenity Standards.
6)
Only one lot may achieve 20 percent of extra residential floor area by providing public amenities consisting of a mid-block corridor and a public view point pursuant to this subsection 23.48.021.C.1.b.
2.
Means to achieve extra non-residential floor area. If the maximum height limit for non-residential use is 100 feet or lower, the applicant shall use bonus non-residential floor area for affordable housing and child care pursuant to Section 23.58A.024 to achieve all extra non-residential floor area on the lot. If the maximum height limit for non-residential use is greater than 100 feet, the applicant shall:
a.
Achieve 75 percent of the extra non-residential floor area on the lot by using bonus non-residential floor area for affordable housing and child care pursuant to Section 23.58A.024, or housing transferable development rights (TDR) pursuant to subsection 23.48.221.A and Section 23.58A.042, or both; and
b.
Achieve 25 percent of extra non-residential floor area by acquiring regional development credits pursuant to Section 23.58A.044.
D.
Minimum requirement. Developments containing any extra floor area shall meet the following requirements:
1.
Green building performance. The applicant shall make a commitment that the proposed development will meet the green building standard and shall demonstrate compliance with that commitment, all in accordance with Chapter 23.58D.
2.
Transportation Management Program (TMP). The applicant will provide a TMP for non-residential development, consistent with requirements for TMPs in any applicable Director's rule, that demonstrates, to the satisfaction of the Director in consultation with the Director of Transportation, that no more than 40 percent of trips to and from the development will be made using single-occupant vehicles (SOVs). The TMP shall be submitted with the Master Use Permit application.
a.
For purposes of measuring the percent of trips to and from the development made using SOVs in the TMP, the number of SOV trips shall be calculated for the p.m. peak hour in which an applicant expects the largest number of vehicle trips to be made by employees at the site (the p.m. peak hour of the generator).
b.
Compliance with this subsection 23.48.021.D.2 does not affect the responsibility of any employer to comply with Seattle's Commute Trip Reduction (CTR) Ordinance.
(Ord. 125791, § 57, 2019; Ord. 125432, § 9, 2017; Ord. 125267, § 19, 2017; Ord. 125163, § 8, 2016; Ord. 124883, § 13, 2015.)
A.
Height limits
1.
The height limits for structures in Seattle Mixed zones are as shown on the Official Land Use Map, Chapter 23.32, except as otherwise provided in this Section 23.48.025 or in the applicable subchapters of this Chapter 23.48 for Seattle Mixed zone designations for specific geographic areas shown in Table A for 23.48.002. In certain zones, as specified in this Section 23.48.025, the maximum structure height is allowed only for particular uses or only under specified conditions, or both. Where height limits are established for portions of a structure that contain specified types of uses, the applicable height limit for the structure is the highest applicable height limit for the types of uses in the structure, unless otherwise specified.
2.
In the SM-SLU and SM-D zones, the applicable height limit for portions of a structure that contain non-residential and live-work uses is shown as the first figure after the zone designation, and the base height limit for portions of a structure in residential use is shown as the first figure following the "/". The third figure shown is the maximum residential height limit.
B.
Pitched roofs. In SM zones with a height limit of 85 feet or less, the ridge of a pitched roof with a minimum slope of 6 to 12 may extend 10 feet above the height limit. The ridge of a pitched roof with a minimum slope of 4 to 12 may extend 5 feet above the height limit (Exhibit A for 23.48.025). No portion of a shed roof shall be permitted to extend beyond the height limit under this provision, 23.48.025.
Exhibit A for 23.48.025
Pitched Roofs
C.
Rooftop features
1.
Smokestacks, chimneys, flagpoles, and religious symbols for religious institutions are exempt from height controls, except as regulated in Chapter 23.64, provided they are a minimum of 10 feet from any side or rear lot line.
2.
Open railings, planters, skylights, clerestories, greenhouses, parapets, and firewalls may extend up to 4 feet above the maximum height limit with unlimited rooftop coverage. Insulation material or soil for landscaping located above the structural roof surface may exceed the maximum height limit if enclosed by parapets or walls that comply with this subsection 23.48.025.C.2.
3.
Solar collectors may extend up to 7 feet above the maximum height limit, with unlimited rooftop coverage.
4.
The following rooftop features may extend up to 15 feet above the applicable height limit, if the combined total coverage of all features listed in this subsection 23.48.025.C.4 does not exceed 35 percent of the roof area, or does not exceed 60 percent coverage of the roof area if the total includes a greenhouse:
a.
Solar collectors that exceed heights allowed by subsection 23.48.025.C.3;
b.
Stair and elevator penthouses;
c.
Mechanical equipment;
d.
Atriums, greenhouses, and solariums;
e.
Play equipment and open-mesh fencing that encloses it, as long as the fencing is at least 15 feet from the roof edge;
f.
Minor communication utilities and accessory communication devices, except that height is regulated according to the provisions of Section 23.57.012;
g.
Covered or enclosed common amenity area;
h.
Chimneys;
i.
Sun and wind screens, and similar weather protection features such as eaves or canopies extending from rooftop features; and
j.
Wind-driven power generators.
5.
For structures greater than 85 feet in height, elevator penthouses up to 25 feet above the height limit are permitted. If the elevator provides access to a rooftop designed to provide usable open space or common recreation area, elevator penthouses and mechanical equipment up to 45 feet above the height limit are permitted, provided that all of the following are satisfied:
a.
The structure must be greater than 125 feet in height; and
b.
The combined total coverage of all features gaining additional height listed in subsection 23.48.025.C.4 does not exceed limits listed in subsection 23.48.025.C.4, or the limit in subsection 23.48.025.C.6 if it applies.
6.
At the applicant's option, the combined total coverage limit of all rooftop features listed in subsections 23.48.025.C.4 and 23.48.025.C.5 is 75 percent, provided that all of the following are satisfied:
a.
All mechanical equipment is screened or enclosed; and
b.
No rooftop features are located closer than 10 feet to the roof edge, except features that do not exceed the height of the parapet or 5 feet above the roof surface, whichever is greater, or which may be permitted by design review departure or other code provisions including but not limited to Chapter 23.57.
7.
In order to protect solar access for property to the north, the applicant shall either locate the rooftop features listed in this subsection 23.48.025.C.7 at least 10 feet from the north lot line, or provide shadow diagrams to demonstrate that the proposed location of such rooftop features would shade property to the north on January 21 at noon no more than would a structure built to maximum permitted bulk:
a.
Solar collectors;
b.
Planters;
c.
Clerestories;
d.
Atriums, greenhouses, and solariums;
e.
Minor communication utilities and accessory communication devices according to the provisions of Section 23.57.012;
f.
Sun and wind screens, and similar weather protection features such as eaves or canopies extending from rooftop features;
g.
Nonfirewall parapets;
h.
Play equipment; and
i.
Covered or enclosed common amenity areas.
8.
Screening. Rooftop mechanical equipment and elevator penthouses shall be screened with fencing, wall enclosures, or other structures.
9.
For height limits and exceptions for communication utilities and accessory communication devices, see Section 23.57.012.
(Ord. 126600, § 7, 2022; Ord. 126157, § 29, 2020; Ord. 125791, § 58, 2019; Ord. 125272, § 32, 2017; Ord. 125267, § 20, 2017; Ord. 124883, § 13, 2015.)
A.
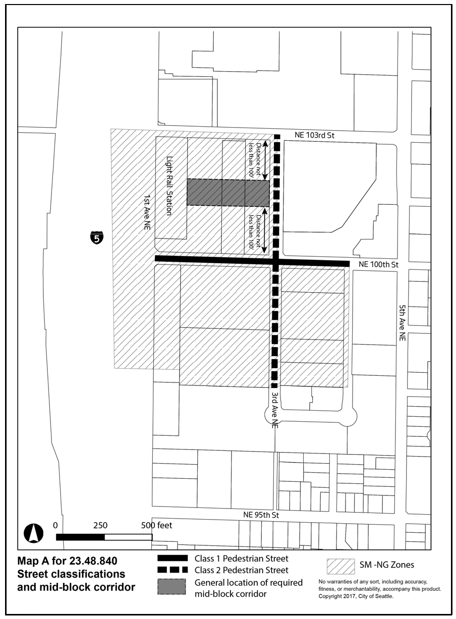
Street-facing facade requirements. The following street-facing facade requirements apply to facades facing on streets as shown on Map A for 23.48.240, Map A for 23.48.440, Map A for 23.48.740, Map A for 23.48.840, or Map A for 23.48.940:
1.
Primary pedestrian entrance. In the SM-SLU, SM-NR, SM-UP, and SM-NG zones, each new structure facing a Class 1 Pedestrian Street, and in the SM-RB zone each new structure facing a Class 2 Pedestrian Street, is required to provide a primary building entrance for pedestrians from the street or a street-oriented courtyard that is no more than 3 feet above or below the sidewalk grade.
2.
Minimum facade height. In the SM-SLU, SM-NR, SM-NG, and SM-RB zones, a minimum facade height is required for the street-facing facades of new structures, unless all portions of the structure are lower than the required minimum facade height listed below.
a.
On Class 1 Pedestrian Streets, the minimum height for street-facing facades is 45 feet.
b.
On Class 2 Pedestrian Streets and Neighborhood Green Streets, the minimum height for street-facing facades is 25 feet.
c.
On all other streets, the minimum height for street-facing facades is 15 feet.
B.
Transparency and blank facade requirements. In the SM-SLU, SM-NR, SM-U, SM-UP, SM-RB, and SM-NG zones, the provisions of this subsection 23.48.040.B apply to the area of a street-facing facade between 2 feet and 8 feet above a sidewalk, but do not apply to portions of a structure in residential use or, within the SM-U and SM-NG districts, to portions of a structure in use as a light rail station.
1.
Transparency requirements
a.
In the SM-SLU, SM-NR, SM-U, SM-UP, SM-RB, and SM-NG zones, on Class 1, Class 2, and Class 3 Pedestrian Streets and Neighborhood Green Streets, a minimum of 60 percent of the street-facing facade must be transparent, except that if the slope of the street frontage abutting the lot exceeds 7.5 percent, the required amount of transparency is 45 percent of the street-facing facade.
b.
In the SM-SLU, SM-D, SM-NR, SM-U, SM-UP, SM-RB, and SM-NG zones, for all other streets not specified in subsection 23.48.040.B.1.a, a minimum of 30 percent of the street-facing facade must be transparent, except that if the slope of the street frontage abutting the lot exceeds 7.5 percent, the minimum amount of transparency is 22 percent of the street-facing facade.
c.
Only clear or lightly tinted glass in windows, doors, and display windows is considered transparent. Transparent areas shall be designed and maintained to provide views into and out of the structure. Except for institutional uses, no permanent signage, window tinting or treatments, shelving, other furnishings, fixtures, equipment, or stored items shall completely block views into and out of the structure between 4 feet and 7 feet above adjacent grade. The installation of temporary signs or displays that completely block views may be allowed if such temporary installations comply with subsection 23.55.012.B.
2.
Blank facade limits. Any portion of the street-facing facade that is not transparent is considered to be a blank facade and is subject to the following:
a.
In the SM-SLU, SM-NR, SM-U, SM-UP, SM-RB, and SM-NG zones, for Class 1, Class 2, and Class 3 Pedestrian Streets and Neighborhood Green Streets, the following apply:
1)
Blank facades are limited to segments 15 feet wide. Blank facade width may be increased to 30 feet if the Director determines as a Type I decision that the facade is enhanced by architectural detailing, artwork, landscaping, or other similar features that have visual interest.
2)
The total width of all blank facade segments shall not exceed 40 percent of the width of the street-facing facade of the structure on each street frontage, or 55 percent of the width of the street-facing facade if the slope of the street frontage abutting that lot exceeds 7.5 percent.
b.
All other streets not specified in subsection 23.48.040.B.2.a are subject to the following:
1)
Blank facades are limited to segments 30 feet wide. Blank facade width may be increased to 60 feet if the Director determines as a Type I decision that the facade is enhanced by architectural detailing, artwork, landscaping, or other similar features that have visual interest.
2)
The total width of all blank facade segments shall not exceed 70 percent of the width of the street-facing facade of the structure on each street frontage; or 78 percent if the slope of the street frontage abutting that lot exceeds 7.5 percent.
c.
Any blank segment of a street-facing facade shall be separated by transparent areas that are at least 2 feet wide.
C.
Development standards for required street-level uses. Street-level uses that are required by subsection 23.48.005.D, 23.48.605.C, or 23.48.805.B, and street-level uses exempt from FAR calculations under the provisions of subsection 23.48.220.B.2, 23.48.620.B.2, 23.48.720.B.2, or 23.48.820.B, whether required or not, shall meet the following development standards. In the SM-NG zone, where street-level use requirements apply to a mid-block corridor, these standards shall be applied as if the mid-block corridor were a street.
1.
Where street-level uses are required, a minimum of 75 percent of the applicable street-level, street-facing facade shall be occupied by uses listed in subsection 23.48.005.D.1 or uses provided for interim street activation purposes where they apply in the Uptown and South Lake Union Urban Centers. The remaining street-facing facade may contain other permitted uses or pedestrian or vehicular entrances.
2.
There is no minimum frontage requirement for street-level uses provided at locations where they are not required but are exempt from FAR calculations under the provisions of subsections 23.48.220.B.2, 23.48.620.B.2, 23.48.720.C.4, or 23.48.820.B.
3.
The space occupied by street-level uses shall have a minimum floor-to-floor height of 13 feet and extend at least 30 feet in depth at street level from the street-facing facade, except when the use is allowed by interim street activation provisions in Section 23.42.041.
4.
If the minimum requirements of subsection 23.48.040.C.1 and the depth requirements of subsection 23.48.040.C.2 would require more than 50 percent of the structure's footprint to be occupied by required uses in subsection 23.48.005.D, the Director may modify the street-facing facade or depth requirements, or both, so that no more than 50 percent of the structure's footprint is required to be occupied by the uses required by subsection 23.48.005.D.
5.
Street-level uses shall be located within 10 feet of the street lot line, except for the following:
a.
Required street-level uses may be located more than 10 feet from the applicable street lot line if they abut an outdoor amenity area provided to meet the requirements of Section 23.48.045, or other required or bonused amenity area or open space provided for in this Chapter 23.48 that separates the portion of the street-facing facade including the required street-level uses from the street lot line;
b.
If a street-level setback is required from the street lot line by the provisions of this Chapter 23.48 or Chapter 23.53, the 10-foot distance shall be measured from the line established by the required setback; and
c.
If development standards in this Chapter 23.48 require modulation of the street-facing facade at street level, the required street-level uses may abut the street-level setback area provided to comply with the modulation standards.
6.
Pedestrian access to street-level uses shall be provided directly from the street, from permitted outdoor common amenity area, or from open space abutting the street. Pedestrian entrances shall be located no more than 3 feet above or below the grade of the sidewalk or pedestrian walkway or at the same elevation as the abutting permitted outdoor common amenity area or required or bonused open space.
D.
Maximum width. The provisions of this subsection 23.48.040.D apply to all structures in SM-U zones and structures along Class 1 pedestrian streets in all other Seattle Mixed zones, except the provisions of this subsection 23.48.040.D do not apply in SM-SLU zones.
1.
The maximum width of a structure, or of a portion of a structure for which the limit is calculated separately according to subsection 23.48.040.D.2, as measured along all streets in SM-U zones and along Class 1 pedestrian street in other Seattle Mixed zones, except SM-SLU zones, is 250 feet, except as otherwise provided in subsection 23.48.040.D.3.
2.
For purposes of this subsection 23.48.040.D, the width limit shall be calculated separately for a portion of a structure if:
a.
There are no connections allowing direct access, such as hallways, bridges, or stairways, between that portion of a structure and other portions of a structure; or
b.
The only connections between that portion of a structure and other portions of a structure is in stories, or portions of a stories, that are underground or extend no more than 4 feet above the sidewalk, measured at any point above the sidewalk elevation to the floor above the partially below-grade story, excluding access.
3.
For purposes of this subsection 23.48.040.D, the following portions of a structure shall not be included in facade width measurement:
a.
Designated Landmark structures that are retained on the lot.
b.
Structures in SM-U zones that qualify as vulnerable masonry structures according to Section 23.48.630 and are retained on the lot.
c.
Stories of a structure on which more than 50 percent of the total gross floor area is occupied by any of the following uses:
1)
Arts facilities;
2)
Community clubs or community centers;
3)
Child care centers;
4)
Elementary or secondary schools;
5)
Performing arts theaters; or
6)
Religious facilities.
(Ord. 127198, § 5, 2025; Ord. 126685, § 28, 2022; Ord. 125792, § 4, 2019; Ord. 125791, § 59, 2019; Ord. 125432, § 10, 2017; Ord. 125267, § 21, 2017; Ord. 124883, § 13, 2015.)
A.
Amenity area is required for all development with more than 20 new dwelling units.
B.
Quantity of amenity area. An area equivalent to five percent of the total gross floor area in residential use shall be provided as amenity area, except that in no instance shall the amount of required amenity area exceed the area of the lot. In determining the quantity of amenity area required, accessory parking areas and areas used for mechanical equipment are excluded from the calculation of gross floor area in residential use. For the purposes of this subsection 23.48.045.B, bioretention facilities qualify as amenity area.
C.
Standards for amenity area. Required amenity area shall meet the following standards:
1.
All residents of the project shall have access to the required amenity area, which may be provided at or above ground level.
2.
A maximum of 50 percent of the required amenity area may be enclosed.
3.
The minimum horizontal dimension for required amenity areas is 15 feet, except that for amenity area that is provided as landscaped open space located at street level and accessible from the street, the minimum horizontal dimension is 10 feet.
4.
The minimum size of a required amenity area is 225 square feet.
5.
Amenity area provided as landscaped open space located at street level and accessible from the street shall be counted as twice the actual area in determining the amount provided to meet the amenity area requirement.
6.
Public open space provided on a lot to meet open space requirements for non-residential uses on the lot or to allow for extra non-residential floor area through a floor area bonus for open space amenities according to the provisions of this Chapter 23.48 and Section 23.58A.040 may be used as area satisfying the residential amenity area requirement for residential uses on the lot if the open space provided meets the standards of this Section 23.48.045.
7.
Parking areas, driveways, and pedestrian access, except for pedestrian access meeting the Washington State Rules and Regulations for Barrier-Free Design, shall not be counted as amenity area except that a woonerf may provide a maximum of 50 percent of the required amenity area if the design of the woonerf is approved through a design review process pursuant to Chapter 23.41.
8.
For a development that maintains a designated Seattle Landmark on the lot, the Director may, as Type I decision and in consultation with the Director of the Department of Neighborhoods, waive or modify the amenity area requirement if it is determined that maintaining the Landmark structure significantly limits the ability to accommodate the required amenity area on the site.
9.
For lots abutting a designated Neighborhood Green Street, up to 50 percent of the amenity area requirement may be met by improving the abutting Neighborhood Green Street according to the standards for green street improvements in Section 23.58A.040. The Director may waive the requirement that the Neighborhood Green Street abut the lot and allow the improvement to be made to a Neighborhood Green Street located in the general vicinity of the project if the Director determines that the improvement will benefit residents of the project.
The provisions of Chapters 23.58B and 23.58C apply in all Seattle Mixed zones, except SM-SLU 85/65-160 zones and SM-UP zones that do not have a mandatory housing affordability suffix.
(Ord. 125791, § 60, 2019.)
A.
Landscaping requirements
1.
All landscaping provided to meet the requirements of this Section 23.48.055 shall comply with the Director's rules adopted to foster the long-term health, viability, and coverage of plantings. The Director's rules shall address, at a minimum, the type and size of plants, spacing of plants, use of drought-tolerant plants, and access to light and air for plants.
2.
Landscaping that achieves a Green Factor score of .30 or greater, pursuant to Section 23.86.019, is required for any lot with:
a.
Development containing more than four new dwelling units; or
b.
Development, either a new structure or an addition to an existing structure, containing more than 4,000 square feet of non-residential uses; or
c.
Any use with more than 20 new parking spaces for automobiles.
3.
Landscaping for required setback areas and berms. If development standards require landscaping in setback areas or berms, each required setback area or berm shall be planted with trees, shrubs, and grass or evergreen groundcover. Features such as pedestrian access meeting the Washington State Rules and Regulations for Barrier-Free Design, decorative pavers, street furnishings, sculptures, or fountains may cover a maximum of 30 percent of each required landscaped area or berm. Landscaping shall be provided according to standards promulgated by the Director. Landscaping designed to manage storm water qualifies as required landscaping.
B.
If screening is required for specific uses in subsection 23.48.055.C, screening that is at least 3 feet tall shall be provided on the lot lines specified in subsection 23.48.055.C. Except as specified for parking located above street-level in subsection 23.48.055.C.3.c, the required screening may be provided as a fence, wall, hedge, or landscaped berm.
C.
Screening for specific uses
1.
Gas stations shall provide 3-foot-high screening along lot lines abutting all streets, except within required sight triangles.
2.
Surface parking areas
a.
Surface parking areas abutting streets. Surface parking areas shall provide 3-foot-high screening along the lot lines abutting all streets, except within required sight triangles.
b.
Surface parking areas abutting alleys. Surface parking areas shall provide 3-foot-high screening along the lot lines abutting an alley. The Director may reduce or waive the screening requirement for part or all of the lot line abutting the alley when required parking is provided at the rear lot line and the alley is necessary to provide aisle space.
3.
Parking in structures. Except as provided for by subsection 23.48.085.B, parking located at or above street level in a garage shall be screened as follows:
a.
On Class 1 and Class 2 Pedestrian Streets and Neighborhood Green Streets shown on Map A for 23.48.240, Map A for 23.48.440, Map A for 23.48.840, and Map A for 23.48.940, and on all streets in SM-U and SM-UP zones, parking is not permitted at street level unless separated from the street by other uses, provided that garage doors need not be separated. The facade of the separating uses shall be subject to the transparency and blank facade standards in Section 23.48.040.
b.
On all other streets in Seattle Mixed zones shown on Map A for 23.48.240, Map A for 23.48.440, and Map A for 23.48.840, parking is permitted at street level if at least 30 percent of the street frontage of the parking area, excluding that portion of the frontage occupied by garage doors, is separated from the street by other uses. The facade of the separating uses shall be subject to the transparency and blank facade standards in Section 23.48.040. The remaining parking shall be screened from view at street level and the street-facing facade shall be enhanced by architectural detailing, artwork, landscaping, or similar visual interest features.
c.
The perimeter of each floor of parking above street level shall have an opaque screen at least 3.5 feet high, except in the SM-SLU, SM-U, SM-UP, and SM-NG zones, where specific requirements for the location and screening of parking located on stories above the street level apply.
4.
Fences or free-standing walls associated with utility services uses may obstruct or allow views to the interior of a site. Where site dimensions and site conditions allow, applicants are encouraged to provide both a landscaped setback between the fence or wall and the right-of-way, and a fence or wall that provides visual interest facing the street lot line, through the height, design, or construction of the fence or wall, including the use of materials, architectural detailing, artwork, vegetated trellises, decorative fencing, or similar features. Any fence or free-standing wall for a utility service shall provide either:
a.
A landscaped area a minimum of 5 feet in depth between the wall or fence and the street lot line; or
b.
Architectural detailing, artwork, vegetated trellises, decorative fencing, or similar features to provide visual interest facing the street lot line, as approved by the Director.
D.
Street trees requirements
1.
Street trees are required when any development is proposed, except as provided in subsection 23.48.055.D.2 and Section 23.53.015. Existing street trees shall be retained unless the Director of Transportation approves their removal. The Director, in consultation with the Director of Transportation, will determine the number, type, and placement of street trees to be provided to:
a.
Improve public safety;
b.
Promote compatibility with existing street trees;
c.
Match trees to the available space in the planting strip;
d.
Maintain and expand the urban forest canopy;
e.
Encourage healthy growth through appropriate spacing;
f.
Protect utilities; and
g.
Allow access to the street, buildings, and lot.
2.
Exceptions to street tree requirements
a.
If a lot borders an unopened right-of-way, the Director may reduce or waive the street tree requirement along that street if, after consultation with the Director of Transportation, the Director determines that the street is unlikely to be opened or improved.
b.
Street trees are not required for any of the following:
1)
Modifying principal single-family dwelling units, except as provided in subsection 23.48.055.D.3;
2)
Changing a use, or establishing a temporary use or intermittent use;
3)
Expanding a structure by 1,000 square feet or less; or
4)
Expanding surface area parking by less than ten percent in area and less than ten percent in number of spaces.
3.
When an existing structure is proposed to be expanded by more than 1,000 square feet, one street tree is required for each 500 square feet over the first 1,000 square feet of additional structure, up to the maximum number of trees that would be required for new construction.
4.
If it is not feasible to plant street trees in a right-of-way planting strip, a 5-foot setback shall be planted with street trees along the street property line or landscaping other than trees shall be provided in the planting strip, subject to approval by the Director of Transportation. If, according to the Director of Transportation, a 5-foot setback or landscaped planting strip is not feasible, the Director may reduce or waive this requirement.
(Ord. 126821, § 4, 2023; Ord. 125792, § 5, 2019; Ord. 125791, § 61, 2019; Ord. 125432, § 11, 2017; Ord. 125267, § 23, 2017; Ord. 124883, § 13, 2015.)
A.
All permitted uses and activities are subject to the noise standards of Section 23.47A.018.
B.
All permitted uses and activities are subject to the odor standards of Section 23.47A.020.
All permitted uses are subject to the light and glare standards of Section 23.47A.022.
(Ord. 124883, § 13, 2015.)
A.
Off-street parking spaces and bicycle parking are required according to Section 23.54.015, Required parking.
B.
Loading berths shall be provided pursuant to Section 23.54.035, Loading berth requirements and space standards.
C.
Where access to a loading berth is from an alley, and truck loading is parallel to the alley, a setback of 12 feet is required for the loading berth, measured from the centerline of the alley, as shown in Exhibit D for 23.47A.014. This setback shall be maintained up to a height of 16 feet.
(Ord. 124883, § 13, 2015.)
A.
Parking accessory to non-residential uses may be provided on-site or within 800 feet of the lot to which it is accessory, according to the provisions of Section 23.54.025.
B.
Parking at street level within structures
1.
Parking located at street level in a structure is subject to the provisions of subsections 23.48.055.C.3.a and 23.48.055.C.3.b, except as provided for in subsections 23.48.085.B.2 and 23.48.085.B.3.
2.
Due to physical site conditions such as topographic or geologic conditions, parking is permitted in stories that are partially below street level and partially above street level without being separated from the street by other uses, if:
a.
The street front portion of the parking that is at or above street level does not abut a Class 1 Pedestrian Street requiring street-level uses; and
b.
The street front portion of the parking that is at or above street level, excluding garage and loading doors and permitted access to parking, is screened from view at the street level; and
c.
The street-facing facade is enhanced by architectural detailing, artwork, landscaping, stoops, and porches providing access to residential uses, or similar visual interest features.
3.
Parking is permitted in a story that is partially above street level and partially below street level in a structure permitted in a setback area under the provisions of subsection 23.48.240.C.2.b.
C.
Accessory surface parking is permitted under the following conditions, except as provided by Sections 23.48.285, 23.48.685, 23.48.785, and 23.48.885:
1.
All accessory surface parking shall be located at the rear or to the side of the principal structure.
2.
The amount of lot area allocated to accessory surface parking shall be limited to 30 percent of the total lot area, and in the SM-NG zone shall not exceed 24,000 square feet. For parking that is accessory to a use on another site, this requirement is applied to the lot on which the parking is located.
D.
Parking and loading access. If a lot abuts more than one right-of-way, the location of access for parking and loading shall be determined by the Director, depending on the classification of rights-of-way according to the following:
1.
Access to parking and loading shall be from the alley when the lot abuts an alley improved to the standards of subsection 23.53.030.C and use of the alley for parking and loading access would not create a significant safety hazard as determined by the Director.
2.
If the lot does not abut an improved alley, or use of the alley for parking and loading access would create a significant safety hazard as determined by the Director, parking and loading access may be permitted from the street. If the lot abuts more than one street, the location of access is determined by the Director, as a Type I decision, after consulting with the Director of Transportation. In SM-SLU, SM-NR, SM-U, SM-UP, and SM-NG zones abutting streets with a pedestrian or green street classification, unless the Director otherwise determines under subsection 23.48.085.D.3, access is allowed only from a right-of-way in the category preferred among the categories of rights-of-way abutting the lot, according to the ranking set forth below, from most to least preferred (a portion of a street that is included in more than one category is considered as belonging only to the least preferred of the categories in which it is included):
a.
An undesignated street;
b.
Class 2 Pedestrian Street;
c.
Class 1 Pedestrian Street;
d.
Neighborhood Green Street.
3.
The Director may allow or require access from a right-of-way other than one indicated as the preferred category in this subsection 23.48.085.D if, after consulting with the Director of Transportation, the Director finds that an exception to the access requirement is warranted. The Director shall base the decision on granting an exception on any of the following: whether and to what extent alternative locations of access would enhance pedestrian safety and comfort, facilitate transit operations, facilitate the movement of vehicles, minimize the on-street queuing of vehicles, enhance vehicular safety, or minimize hazards. Curb cut controls on designated Neighborhood Green Streets shall be evaluated on a case-by-case basis, but generally access from Neighborhood Green Streets is not allowed if access from any other right-of-way is possible.
4.
If a street or alley vacation is proposed, the Director shall consult with the Seattle Design Commission on how the location and extent of the proposed curb cuts affects or impacts the public realm and how those impacts have been reduced.
E.
Curb cut width and number
1.
Permitted access shall be limited to one two-way curb cut. In the event the site is too small to permit one two-way curb cut, two one-way curb cuts shall be permitted.
2.
Curb cut width shall satisfy the provisions of Section 23.54.030.
(Ord. 125792, § 6, 2019; Ord. 125558, § 19, 2018; Ord. 125432, § 12, 2017; Ord. 125272, § 33, 2017; Ord. 125267, § 24, 2017; Ord. 124883, § 13, 2015.)
A.
In addition to the requirements of subsection 23.48.090.B, assisted living facilities are subject to the development standards of the zone where they are located, except that density limits and amenity area requirements do not apply to assisted living facilities.
B.
Other requirements
1.
Minimum unit size. Assisted living units shall be designed to meet the minimum square footage required by WAC 388-110-140.
2.
Facility kitchen. An on-site kitchen that serves the entire assisted living facility is required.
3.
Communal area. Communal areas that are either interior or exterior spaces, such as solariums, decks and porches, recreation rooms, dining rooms, living rooms, foyers and lobbies, and gardens or other outdoor landscaped areas shall be provided as follows:
a.
The total amount of communal area shall equal at least 10 percent of the total floor area in assisted living units. In calculating the total floor area in assisted living units, all of the area of each unit, excluding the bathroom, shall be counted, including counters, closets, and built-ins;
b.
Service areas, including, but not limited to, the facility kitchen, laundry, hallways and corridors, supply closets, operations and maintenance areas, staff areas and offices, and rooms used only for counseling or medical services, shall not be counted as required communal area;
c.
A minimum of 400 square feet of the required communal area shall be provided as an outdoor area with a minimum dimension of 10 feet. Outdoor areas provided as required communal area shall be accessible to people with disabilities; and
d.
Adequate seating for residents and guests shall be provided for required communal areas.
(Ord. 124883, § 13, 2015.)
In addition to the development standards of the zone, pet daycare centers are subject to the following requirements:
A.
Pet daycare centers that were established of record before July 31, 2006, may continue notwithstanding nonconformity with development standards, provided the provisions of this Section 23.48.095 are met.
B.
The pet daycare center shall be permitted by Public Health—Seattle and King County, as required by Section 10.72.020.
C.
Facilities for the boarding of animals may occupy no more than 30 percent of the gross floor area of the pet daycare center.
D.
Required loading pursuant to Section 23.54.015 may be provided in a public right-of-way if the applicant can demonstrate to the Director, in consultation with the Director of Transportation, that pedestrian circulation or vehicle traffic will not be significantly impacted.
E.
Applicants shall submit at the time of permit application, written operating procedures, such as those recommended by the American Boarding and Kennel Association (ABKA) or the American Kennel Club (AKC). Such procedures shall be followed for the life of the business and shall prevent animal behavior that impacts surrounding uses, including excessive barking.
F.
Violations of this Section 23.48.095
1.
The exemption in subsection 25.08.500.A of the Noise Control Ordinance to uses permitted under Chapter 10.72, provisions for pet kennels and similar uses, does not apply to pet daycare centers.
2.
When a notice of violation is issued for animal noise, the Director may require the pet daycare center to submit a report from an acoustical consultant that describes potential measures to be taken by the pet daycare center to prevent or mitigate noise impacts. The Director may require measures, including but not limited to: development or modification of operating procedures; cessation of the use of outdoor area(s); closure of windows and doors; reduction in hours of operation; and use of sound attenuating construction or building materials such as insulation and noise baffles. The Director may order the pet daycare center to be closed on a temporary or permanent basis.
(Ord. 124883, § 13, 2015.)
A proposed development that meets the requirements of Section 23.42.055 may achieve additional height and FAR as provided in this Section 23.48.100.
A.
Maximum height. The applicable maximum height limit for residential uses in development permitted pursuant to Section 23.42.055 in Seattle Mixed zones is increased by the following amounts:
1.
For zones with a mapped maximum height limit of 85 feet or less, 20 feet.
2.
For zones with a mapped maximum height limit greater than 85 feet, 40 feet.
B.
Floor area. The applicable maximum FAR limit for residential uses in development permitted pursuant to Section 23.42.055 in Seattle Mixed zones is increased by the following amounts:
1.
For zones with a mapped maximum residential height limit of 85 feet or less, 1.5 FAR.
2.
For zones with a mapped maximum residential height limit greater than 85 feet, 3.0 FAR.
(Ord. 126855, § 22, 2023 [amended title]; Ord. 126384, § 8, 2021)
The provisions in Sections 23.48.205 through 23.48.285 of the SM-SLU zones are in addition to and supplement the provisions of Sections 23.48.005 through 23.48.095. In cases of conflicts between these Sections 23.48.005 through 23.48.095, the provisions in the SM-SLU zones apply.
(Ord. 124883, § 13, 2015.)
A.
Permitted uses. In the SM-SLU 85-240 zone, except for improvements to or development of new religious facilities, permitted non-residential uses are limited to a height of 20 feet above the street level of structures with residential uses and are subject to the development standards of subsection 23.48.240.C.
B.
Prohibited uses. Flexible-use parking.
C.
Required street-level uses. Within the SM-SLU 160/85-240 zone, for development meeting the standards in subsection 23.48.230.B, structures with a street-facing facade along 8th Avenue N., or located on a designated Neighborhood Green Street (Map A for 23.48.240) shall have a minimum of 10 percent of the length of the street-level portion of that street-facing facade occupied by general sales and service uses, eating and drinking establishments, or entertainment uses, that meet the development standards for required street-level uses in subsection 23.48.240.E.
A.
General provisions
1.
Except as otherwise specified in this subsection 23.48.220.A, FAR limits for specified SM zones within the South Lake Union Urban Center are as shown in Table A for 23.48.220 and Table B for 23.48.220. In the zones shown on Table A for 23.48.220, all non-exempt floor area above the base FAR is considered extra floor area. Extra floor area may be obtained, up to the maximum FAR, only through the provision of public amenities according to Section 23.48.021 and Chapter 23.58A.
2.
FAR for development including a mix of residential and non-residential uses
a.
For zones included on Table A for 23.48.220, development including a mix of non-residential uses and residential uses that do not exceed the base height limit for residential use shall:
1)
Obtain extra floor area for any chargeable non-residential floor area above the base FAR for non-residential uses as prescribed in Table A for 23.48.220; and
2)
Not exceed the lower of the maximum FAR for non-residential uses in Table A for 23.48.220 or the maximum FAR for structures that do not exceed the base height limit and include any residential use in Table A for 23.48.220.
b.
In the SM-SLU 175/85-280 zone residential uses are allowed above the residential base height limit in structures or portions of structures with non-residential uses that exceed 85 feet in height, and in the SM-SLU 240/125-440 zone, residential uses are allowed above the residential base height limit in structures or portions of structures with non-residential uses that exceed 125 feet in height if the following conditions are met:
1)
All uses are subject to the maximum FAR limit for non-residential uses in Table A for 23.48.220, and for the purposes of calculating FAR, floor area in residential use shall be included as chargeable floor area;
2)
If residential and non-residential uses are combined on the same story, the floor area limits of subsection 23.48.245.B.3 apply;
3)
Stories occupied only by residential uses may exceed the maximum height limit for non-residential uses, and all stories above the base height limit for residential use that are only occupied by residential uses are subject to the floor area limits of subsection 23.48.245.B.2 and the maximum facade width standards of subsection 23.48.245.E;
4)
Extra non-residential floor area above the base FAR for non-residential uses shown on Table A for 23.48.220 shall be obtained as provided for in Section 23.48.221; and
5)
For the purposes of applying tower separation standards in subsection 23.48.245.G, the structure shall be considered to be a residential tower.
3.
For the zones included on Table A for 23.48.220, an additional increment of FAR is permitted for non-residential uses above the base FAR of the zone if a lot meets the conditions of either subsection 23.48.220.A.3.a or subsection 23.48.220.A.3.b.
a.
An additional increment of 0.5 FAR is permitted above the base FAR if the lot includes one or more sites or structures that are subject to controls and incentives imposed pursuant to the City Landmarks Preservation Ordinance, Chapter 25.12, and subject to the following conditions:
1)
The site or structure is rehabilitated to the extent necessary so that all features and characteristics subject to those controls and incentives are in good condition and comply with applicable ordinances and Certificates of Approval issued by the Landmarks Preservation Board, all as determined by the Director of the Department of Neighborhoods;
2)
A notice is recorded with the King County Recorder's Office, in a form satisfactory to the Director, regarding the bonus allowed and the effect thereof under the terms of this Chapter 23.48;
3)
For purposes of this Section 23.48.220, a "qualifying Landmark" is a structure that:
a)
Is subject, in whole or in part, to a designating ordinance pursuant to Chapter 25.12; and
b)
Is on a lot on which no improvement, object, feature, or characteristic has been altered or removed contrary to any provision of Chapter 25.12 or any designating ordinance.
4)
A qualifying Landmark that allows for the additional increment of FAR under this subsection 23.48.220.A.3 is not eligible as a Landmark transferable development rights (TDR) or Landmark transferable development potential (TDP) sending site. For so long as any of the chargeable floor area of the increment allowed above the base FAR of the zone under this subsection 23.48.220.A.3 remains on the lot, each Landmark for which the increment was granted shall remain designated as a Landmark under Chapter 25.12 and the owner shall maintain the exterior and interior of each qualifying Landmark in good condition and repair and in a manner that preserves the features and characteristics that are subject to designation or controls by ordinance unless the Landmarks Preservation Board has issued a Certificate of Approval for the modification or demolition of the Landmark; and
5)
The amount of additional increment of FAR permitted above the base FAR under this subsection 23.48.220.A.3 is not more than the square footage of floor area in the Landmark structure(s).
b.
An additional increment of 1.2 FAR is permitted above the maximum FAR to preserve qualifying open space, subject to the following requirements:
1)
The amount of additional square footage gained from the additional increment of FAR may not exceed 128,130 square feet.
2)
The additional increment of FAR may be located on the same block as the open space or on blocks within 1,500 feet of the qualifying open space. "Qualifying open space" is open space that is a minimum of 10,000 square feet in area, that was improved as open space accessible to the public prior to November 8, 2015, and that meets the following requirements:
a)
If the additional FAR is for non-residential uses, the amount of additional floor area may not exceed the maximum amount of floor area that could be developed on the area of the lot that contains qualifying open space under subsection 23.48.220.A for a structure with non-residential uses. If the additional FAR is for residential uses, the additional floor area may not exceed the maximum amount of floor area that could be developed on the area of the lot that contains qualifying open space under subsection 23.48.220.A for a structure that does not exceed the base height limit and that includes a residential use;
b)
Floor area limits. Only 126,000 square feet of the additional floor area may be used toward achieving maximum floor area limits under subsection 23.48.245.B. The remaining 2,130 square feet may be used for aerial connections that meet the standards of subsection 23.48.245.B.4.
3)
Open space design. The applicant must provide a landscape plan to the Seattle Department of Construction and Inspections for the qualifying open space that protects all existing exceptional trees, as defined in Section 25.11.130, and existing water features. The exceptional trees and water features are deemed to be "existing" if they were present at the site of the qualifying open space on November 8, 2015. The additional FAR may be obtained only if the landscape plan is approved by the Director, whose decision is a Type I Decision.
4)
Hours open. The open space shall be open during daylight hours and accessible to the general public, without charge, for a minimum of ten hours per day, except that access may be temporarily limited as required for public safety, security, scheduled events, or maintenance. Members of the public may not be asked to leave for any reason other than conduct that unreasonably interferes with the enjoyment of the space by others, unless the space is closed to the general public consistent with this subsection 23.48.220.A.3.b.4. No parking, storage, or use other than open space may be established on or above the surface of the open space. Use of the open space by motor vehicles is prohibited except for vehicles responding to an emergency. The open space shall be clearly identified with signage placed at a visible location at each street entrance that provides access to the open space. The signage shall indicate, in letters legible to passersby, the nature of the open space, its availability for general public access, and directional information as needed.
5)
Declaration. The owner(s) of the lot where the open space is located and the lot where the additional floor area provided under this subsection 23.48.220.3.b is located shall execute and record a declaration and voluntary agreement in a form acceptable to the Director identifying the open space provided to qualify for the additional increment of FAR above the base FAR; acknowledging that the right to develop and occupy a portion of the gross floor area on the lot using the additional increment of floor area is based upon the long-term provision and maintenance of the open space and that development is restricted in the open space; and committing to provide and maintain the open space.
6)
Duration; alteration. The owners of the lot granted the additional increment of floor area above the base FAR as a result of having the open space on the lot shall provide and maintain the open space for as long as the increment of additional floor area allowed above the base FAR exists. The open space amenity allowing for the additional increment of floor area above the base FAR may be altered or removed only to the extent that an amount of chargeable floor area equal to the increment of floor area allowed above the base FAR under this subsection 23.48.220.A.3.b is:
a)
Removed or converted to a use for which extra non-residential floor area is not required under the provisions of the zone; and/or
b)
Subject to provisions for gaining extra non-residential floor area through alternative means consistent with the provisions of the zone and provisions for allowing extra non-residential floor area in Chapter 23.58A. Alteration or removal of the open space may be further restricted by the provisions of the zone and by conditions of any applicable permit.
4.
In the SM-SLU 85/65-160 zone on the blocks bounded by Valley Street, Mercer Street, Westlake Avenue North, and Fairview Avenue North, hotel use is permitted above 85 feet in height and is subject to the same provisions as residential use exceeding the base height limit for residential use, provided that all development standards that apply to a residential tower also apply to the hotel use, including the provisions of Section 23.48.221 for gaining extra residential floor area.
5.
In the SM-SLU 100/65-145, SM-SLU 85/65-160, SM-SLU 175/85-280, SM-SLU 85-280, and SM-SLU 240/125-440 zones within South Lake Union Urban Center, for residential tower structures that have only non-residential uses up to or above the base height limit for residential uses, the FAR limits for all non-residential uses in the structure are the same as the FAR limits specified for non-residential uses in Table A for 23.48.220.
6.
In all SM-SLU zones, except SM-SLU/R 65/95, SM-SLU 100/95, and SM-SLU 145 zones, a development that includes a residential structure or a portion of a structure as a residential tower is exempt from FAR requirements as to that structure or portion of a structure, and the FAR limits for permitted non-residential uses in that structure or portion of a structure shall be applied based on the lot area required for the residential tower development, to meet the upper-level floor area limit of subsection 23.48.245.A. The FAR limits for the remainder of the development shall be applied based on an assumed lot area of the total lot area minus the lot area required for the portion of the development that is a residential tower.
7.
Within the area in the SM-SLU 175/85-280 zone meeting the standards for location in subsection 23.48.230.B, structures designed for research and development laboratory use and administrative office associated with research and development laboratories have a base FAR of 5 and a maximum FAR of 8, provided that the maximum number of floors allowed above grade is eight, measured from the floor with the lowest elevation above grade, but not including rooftop projections.
B.
The following floor area is exempt from FAR calculations:
1.
The floor area contained in a Landmark structure subject to controls and incentives imposed by a designating ordinance if the owner of the Landmark has executed and recorded an agreement acceptable in form and content to the Landmarks Preservation Board providing for the rehabilitation and maintenance of the historically significant features of the structure including but not limited to a Certificate of Approval for the modification of the Landmark. This exemption does not apply to a lot from which a Landmark TDP or TDR has been transferred under Chapter 23.58A and does not apply for purposes of determining TDR or TDP available for transfer under Chapter 23.58A.
2.
Street-level uses identified in subsection 23.48.005.D, whether required or not, and that meet the development standards of Section 23.48.240; except that at locations meeting the conditions of Section 23.48.230, only gross floor area at street level that is a general sales and service, eating and drinking establishment, or entertainment use is exempt.
3.
All residential use in a residential tower and podium within the required lot area that includes the podium portion of the tower in the SM-SLU 100/65-145, SM-SLU 85/65-160, SM-SLU 175/85-280, SM-SLU 85-280, and SM-SLU 240/125-440 zones, except residential use in a mixed-use project under the provisions of subsection 23.48.220.A.2.b.
4.
In the SM-SLU 85/65-160 zone on the blocks bounded by Valley Street, Mercer Street, Westlake Avenue North, and Fairview Avenue North, all floor area in hotel use pursuant to subsection 23.48.220.A.4.
5.
Floor area in child care use and elementary and secondary schools.
(Ord. 126821, § 7, 2023; Ord. 126157, § 30, 2020; Ord. 125927, § 2, 2019; Ord. 125603, § 33, 2018; Ord. 125291, § 4, 2017; Ord. 125272, § 34, 2017; Ord. 124883, § 13, 2015.)
A.
Calculation outside of an adopted Local Infrastructure Project Area
1.
Means to achieve extra residential floor area. If the maximum height limit for residential use is greater than 85 feet and the lot is located in the South Lake Union Urban Center, the applicant shall:
a.
achieve 60 percent of the extra residential floor area on the lot by using bonus residential floor area for affordable housing pursuant to Section 23.58A.014; and
b.
achieve 40 percent of the extra residential floor area by using open space TDP or Landmark TDP pursuant to subsection 23.48.221.A and Section 23.58A.042.
2.
Means to achieve extra non-residential floor area. If the maximum height limit for non-residential use is greater than 85 feet and the lot is located in the South Lake Union Urban Center, the applicant shall:
a.
achieve 75 percent of the extra non-residential floor area on the lot by using bonus non-residential floor area for affordable housing and child care pursuant to Section 23.58A.024, or housing TDR pursuant to subsection 23.48.221.B and Section 23.58A.042, or both.
b.
achieve 25 percent of the extra non-residential floor area by using open space TDR pursuant to Chapter 23.84A or Landmark TDR pursuant to subsection 23.48.221.A and Section 23.58A.042.
B.
Standards for TDP and TDR
1.
All lots in the South Lake Union Urban Center that meet the definition of a TDR or TDP sites in Chapter 23.84A are eligible for transfer.
2.
Receiving sites in the South Lake Union Urban Center may only receive TDP or TDR from sending sites in the South Lake Union Urban Center except that receiving sites in the South Lake Union Urban Center may receive Landmark or open space TDP or TDR from sending sites in Downtown or South Downtown if the applicant demonstrates to the satisfaction of the Director that no private or public entities are offering such TDP or TDR for sale in the South Lake Union Urban Center, at a price per square foot no greater than the fee-in-lieu rates for the payment option for affordable housing under Section 23.58A.014 for TDP and the payment option for affordable housing and child care under Section 23.58A.024 for TDR.
3.
A cumulative combination of TDR and TDP exceeding a total of five times the lot area may not be transferred from any lot.
C.
Minimum requirement. The applicant shall make a commitment that the proposed development will meet the green building standard and shall demonstrate compliance with that commitment, all in accordance with Chapter 23.58D.
The provisions of Chapters 23.58B and 23.58C apply in all SM-SLU zones, except SM-SLU 85/65-160 zones.
(Ord. 125291, § 3, 2017.)
A.
Base and maximum height limits
1.
In zones listed below in this subsection 23.48.225.A.1, the applicable height limit for portions of a structure that contain non-residential and live-work uses is shown as the first figure after the zone designation and the base height limit for portions of a structure in residential use is shown as the first figure following the "/". The third figure shown is the maximum residential height limit. Except as stated in Section 23.48.025, the base residential height limit is the applicable height limit for portions of a structure in residential use if the structure does not gain extra residential floor area under the provisions of Chapter 23.58A, and the maximum residential height limit is the height limit for portions of a structure in residential use if the structure includes extra floor area under the provisions of Chapter 23.58A:
SM-SLU 100/65-145
SM-SLU 85/65-160
SM-SLU 175/85-280
SM-SLU 240/125-440
2.
In the SM-SLU 85/65-160 zone on the blocks bounded by Valley Street, Mercer Street, Westlake Avenue North, and Fairview Avenue North, hotel use is permitted above 85 feet in height and is subject to the same provisions as residential use exceeding the base height limit for residential use, provided that all development standards that apply to a residential tower also apply to the hotel use, including the provisions of Section 23.48.221 for gaining extra residential floor area.
3.
In the SM-SLU 85-280 zone, except as stated in subsections 23.48.225.C and 23.48.225.F, the base height limit is the applicable height limit for portions of a structure if the structure does not gain extra residential floor area under the provisions of Chapter 23.58A, and the maximum residential height limit is the height limit for portions of a structure in residential use if the structure includes extra residential floor area under the provisions of Chapter 23.58A, and if the structure complies with the standards for residential tower development in this Chapter 23.48.
4.
In the SM-SLU 100/95 zone, the maximum height for portions of a structure in non-residential or live-work use is 100 feet and the maximum height limit for portions of a structure in residential use is 95 feet.
5.
In the SM-SLU 145 zone, the maximum height for all uses is 145 feet.
B.
Height limits in the SM-SLU/R 65/95 zone
1.
New structures occupied only by non-residential uses are subject to a height limit of 65 feet.
2.
Structures occupied only by residential uses and mixed-use structures with 60 percent or more of the structure's gross floor area in residential use are subject to a height limit of 95 feet.
C.
Additional height permitted in the SM-SLU 175/85-280 and SM-SLU 85-280 zones
1.
Increases in the maximum height limit in the SM-SLU 175/85-280 and SM-SLU 85-280 zones. In the SM-SLU 175/85-280 and SM-SLU 85-280 zones a structure is allowed additional height of up to 30 percent above the maximum height limit for residential uses and, in the SM-SLU 175/85-280 zone, up to 20 percent above the height limit for non-residential uses, if all of the following conditions are met:
a.
The project includes an elementary school or a kindergarten through eighth grade school, which may include minimum space requirements for associated uses but not limited to academic core functions, child care, administrative offices, a library, maintenance facilities, food service, and specialty instruction space;
b.
Prior to issuance of a Master Use Permit, the applicant shall submit a letter to the Director from the school indicating that, based on the Master Use Permit plans, the school district has determined that the development could meet the operator's specifications;
c.
Prior to issuance of a building permit, the applicant shall submit a written certification by the operator to the Director that the operator's specifications have been met;
d.
The amount of floor area allowed to exceed the applicable height limit is equivalent to the amount of enclosed floor area on the lot in school use;
e.
The floor area added through the increase in height is subject to the development standards in Sections 23.48.235 and 23.48.240 that apply to structures that exceed the base height for residential use or the applicable podium height for non-residential uses;
f.
The floor area allowed to exceed the maximum residential height limit is not subject to the provisions for gaining extra residential floor area in Chapter 23.58A; should the school use be discontinued, floor area gained through the provisions of this Section 23.48.225 shall be subject to the provisions of Chapter 23.58A; and
g.
The allowances for rooftop features in subsection 23.48.025.B shall apply to the above structure height permitted under this subsection 23.48.225.C.
2.
Additional height above the applicable height limit for portions of a structure that contain non-residential and live-work uses is permitted in the SM-SLU 175/85-280 zone at locations and under the conditions specified in Section 23.48.230.
3.
Extra residential floor area above the base height limit for residential use may be obtained as provided in Section 23.48.221.
4.
In the SM-SLU 175/85-280 zone, additional height above the applicable height limit, as described below, for up to two non-residential towers on one block is permitted if the tower or towers meet the following requirements.
a.
If a non-residential tower is developed, the tower closer to the eastern block front may be up to 190 feet in height.
b.
If a residential tower is developed, one residential tower on the northwest quadrant of the block may be up to 440 feet including a podium up to 125 feet.
c.
Rooftop features comply with subsection 23.48.025.C, which applies to the additional structure height permitted under this subsection 23.48.225.C.4.
d.
The additional height is to accommodate an additional increment of floor area provided in subsection 23.48.220.A.3.b.
D.
In the SM-SLU 175/85-280, SM-SLU 240/125-440, and SM-SLU 85-280 zones, an additional 10 feet in height is permitted above the otherwise applicable maximum height limit for residential uses for a structure that includes residential dwelling units that comply with all of the following conditions:
1.
Unit number and size. The structure includes a minimum of ten dwelling units that each have a minimum area of 900 gross square feet and include three or more bedrooms; and
2.
Amenity area. Each dwelling unit shall have access to an outdoor amenity area that is located on the same story as the dwelling unit and meets the following standards:
a.
The amenity area has a minimum area of 1300 square feet and a minimum horizontal dimension of 20 feet; and
b.
The amenity area must be common amenity area, except that up to 40% of the amenity area may be private provided that the private and common amenity area are continuous and are not separated by barriers more than 4 feet in height; and the private amenity areas are directly accessible from units meeting these requirements; and
c.
The common amenity area includes children's play equipment; and
d.
The common amenity area is located at or below a height of 85 feet.
E.
A proposal to build a structure greater than 85 feet in height in the SM-SLU 85/65-160 and SM-SLU 175/85-280 zones and located north of Mercer Street and West of Fairview Avenue within the South Lake Union Urban Center, requires the applicant to show that the proposed structure height will not physically obstruct use of the flight path shown on Map A for 23.48.225 or endanger aircraft operations.
F.
All non-exempt floor area and residential floor area located above the base height is considered extra floor area. Extra floor area may be obtained above the base height, up to the maximum height, through the provision of public amenities meeting the standards of Section 23.48.021 and Chapter 23.58A, except that floor area allowed through subsection 23.48.220.A.3.b is exempt from requirements to acquire regional development credits under 23.48.021.C.1.b and 23.48.021.C.2.b. In addition to the requirement to provide public amenities pursuant to Section 23.48.021 and Chapter 23.58A, the extra floor area may be obtained only if the project provides affordable housing and child care pursuant to subsection 23.48.021.C.1.a and 23.48.021.C.2.a.
Map A for 23.48.225
South Lake Union Seaport Flight Corridor
(Ord. 127099, § 27, 2024; Ord. 126157, § 31, 2020; Ord. 125927, § 3, 2019; Ord. 125603, § 34, 2018; Ord. 125291, § 6, 2017; Ord. 124883, § 13, 2015.)
A.
Applicability and general provisions. For structures in the SM-SLU 175/85-280 zone designed for research and development laboratory use and administrative office associated with research and development laboratories, structures that do not exceed a height of 120 feet are not subject to the floor area limits of subsection 23.48.245.B, provided the project complies with all the requirements of this Section 23.48.230. In order for a structure to qualify for the exemption from the floor area limit, at least one complete MUP application for a structure on the same block that has been permitted to extend up to a height of 120 feet without floor area limits shall be filed within nine months of February 17, 2010.
B.
Location. A structure may be exempt from floor area limits of subsection 23.48.245.B if the structure is located on a block that is:
1.
Designated SM-SLU 175/85-280;
2.
Bounded by arterial-designated streets on at least two sides;
3.
Greater than 60,000 square feet in size and does not exceed 100,000 square feet in size; and
4.
Not bisected by an alley or other public right-of-way.
C.
Street-level uses. Street-level uses shall be provided as required by subsection 23.48.205.C.
D.
The applicant shall make a commitment that the proposed development will meet the green building standard and shall demonstrate compliance with that commitment, all in accordance with Chapter 23.58D.
E.
Open space. A minimum of 20 percent of the lot area shall be usable open space. The purpose of the open space shall be to allow for public seating, passive recreation, and a mid-block pedestrian connection. For a multi-phase project, the open space requirement and the other requirements in this subsection 23.48.230.E shall be calculated and applied to the total project. The following standards apply to open space required under this subsection 23.48.230.E:
1.
The open space shall be open during daylight hours and accessible to the general public, without charge, for a minimum of ten hours per day, except that access may be temporarily limited as required for public safety, security, scheduled events, or maintenance reasons. Members of the public may not be asked to leave for any reason other than conduct that unreasonably interferes with the enjoyment of the space by others, unless the space is closed to the general public consistent with this subsection 23.48.230.E.1. No parking, storage, or other use may be established on or above the surface of the open space except as provided in this subsection 23.48.230.E. Use of the open space by motor vehicles is prohibited. The open space shall be clearly identified with signage placed at a visible location at each street entrance providing access to the open space. The signage shall indicate, in letters legible to passersby, the nature of the open space, its availability for general public access, and directional information as needed.
2.
The open space shall contain at least one contiguous area with a minimum of 3,000 square feet and a minimum horizontal dimension of 10 feet.
3.
A minimum of 35 percent of the open space shall be landscaped with grass, ground cover, bushes, and/or trees.
4.
The open space shall include seating in an amount equivalent to either one lineal foot of permanent seating or two movable chairs for every 200 square feet of open space during hours of public access.
5.
The open space shall be located and configured to provide easy access from streets or other abutting public spaces and convenient pedestrian circulation through the open space. The open space shall have a minimum frontage of 30 feet at grade abutting a sidewalk, and be visible from sidewalks on at least one street.
6.
The open space shall be provided at ground level, except that some separation of multiple levels may be allowed, provided they are physically and visually connected.
7.
Up to 20 percent of the open space may be covered by features accessory to public use of the open space, including: permanent, freestanding structures, such as retail kiosks, pavilions, or pedestrian shelters; structural overhangs; overhead arcades or other forms of overhead weather protection; and any other features approved by the Director that contribute to pedestrian comfort and active use of the space. The following features within the open space area may count as open space: areas for temporary kiosks and pavilions, public art, water features, permanent seating that is not reserved for any commercial use, exterior stairs and mechanical assists that provide access to the open space and are available for public use, and any similar features approved by the Director. Seating or tables, or both, may be provided and reserved for customers of restaurants or other uses abutting the open space, however, the area reserved for customer seating shall not exceed 15 percent of the open space area or 500 square feet, whichever is less.
8.
Public art shall be included in the public open space. The artwork may include but need not be limited to water features, or two or three-dimensional works in all media. The artwork shall be clearly visible to people using the open space, and, wherever possible, should be visible from the abutting streets. The property owner is responsible for maintaining all art features for the life of the buildings on the lot.
F.
Transportation Management Program (TMP). The Master Use Permit application shall include a TMP for non-residential development consistent with requirements for TMPs in the applicable Director's Rule. The TMP shall be approved by the Director only if, after consulting with the Director of Transportation, the Director determines that no more than 40 percent of trips to and from the project will be made using single-occupant vehicles (SOVs).
1.
For purposes of measuring attainment of SOV goals contained in the TMP, the number of SOV trips shall be calculated for the p.m. hour in which an applicant expects the largest number of vehicle trips to be made by employees at the site (the p.m. peak hour of the generator).
2.
Compliance with this Section 23.48.230 does not affect the responsibility of any employer to comply with Seattle's Commute Trip Reduction (CTR) Ordinance.
(Ord. 125291, § 7, 2017; Ord. 125163, § 10, 2016; Ord. 124883, § 13, 2015.)
A.
In a SM-SLU 175/85-280 zone located in the South Lake Union Seaport Flight Corridor as shown on Map A for 23.48.225, the following apply:
1.
The following modifications shall occur if the height limit according to subsection 23.48.225.E would prevent a development from being able to achieve the maximum height that would otherwise be allowed according to subsection 23.48.225.A:
a.
The upper-level floor area limit according to subsection 23.48.245.A shall be increased from 50 percent to 55 percent, except that for lots less than 12,500 square feet the upper-level floor area limit according to subsection 23.48.245.A shall be increased from 50 percent to 67 percent;
b.
The non-residential floor plate limits according to subsection 23.48.245.B.1.d shall be increased from 24,000 to 25,000 square feet;
c.
The residential floor plate limits according to subsection 23.48.245.B.2.a shall be increased from 12,500 to 13,500 square feet; and
d.
The residential floor plate limits according to subsection 23.48.245.B.2.b.1 shall be increased from 10,500 to 11,500 square feet.
2.
The height above which a development is a tower according to Section 23.48.245 and the base height for purposes of calculating extra floor area shall be increased from 85 feet to 95 feet if:
a.
Either:
1)
The requirements of subsections 23.48.245.C through 23.48.245.G would not permit a tower on the site or would prevent a development from being able to achieve the upper-level floor area limit and the floor plate limits as increased according to subsection 23.48.231.A.1; or
2)
The requirements of subsections 23.48.245.A through 23.48.245.G would prevent a development from being able to achieve an average tower floor plate of at least 7,500 square feet for floors above the podium height; and
b.
The height of the development does not exceed 95 feet, excluding all rooftop features described in subsection 23.48.025.C.
B.
In a SM-SLU 175/85-280 zone located outside the South Lake Union Seaport Flight Corridor as shown on Map A for 23.48.225 or in a SM-SLU 85-280 zone, the height above which a development is a tower according to Section 23.48.245 and the base height for purposes of calculating extra floor area shall be increased from 85 feet to 95 feet if:
1.
The requirements of subsections 23.48.245.A through 23.48.245.G would not permit a tower on the site or would prevent a development from being able to achieve an average tower floor plate of at least 7,500 square feet for floors above the podium height; and
2.
The height of the development does not exceed 95 feet, excluding all rooftop features described in subsection 23.48.025.C; and
3.
The development meets the upper-level setback requirements of Section 23.48.235.
C.
In a SM-SLU 240/125-440 zone, the height above which a development is a tower according to Section 23.48.245 and the base height for purposes of calculating extra floor area shall be increased from 125 feet to 135 feet if:
1.
The requirements of subsections 23.48.245.A through 23.48.245.G would not permit a tower on the site or would prevent a development from being able to achieve an average tower floor plate of at least 7,500 square feet for floors above the podium height;
2.
The height of the development does not exceed 135 feet, excluding all rooftop features described in subsection 23.48.025.C; and
3.
The development meets the upper-level setback requirements of Section 23.48.235.
D.
In a SM-SLU 100/65-145 zone, the height above which a development is a tower according to Section 23.48.245 and the base height for purposes of calculating extra floor area shall be increased from 65 feet to 75 feet if:
1.
The requirements of subsections 23.48.245.A through 23.48.245.G would not permit a tower on the site or would prevent a development from being able to achieve an average tower floor plate of at least 7,500 square feet for floors above the podium height; and
2.
The height of the development does not exceed 75 feet, excluding all rooftop features described in subsection 23.48.025.C.
(Ord. 126600, § 8, 2022; Ord. 125603, § 35, 2018; Ord. 125291, § 8, 2017)
A.
Development with non-residential uses only, except hotels with 100 rooms/suites or fewer, is limited to a lot area of 21,600 square feet or less.
B.
Development on lots greater than 21,600 square feet in area shall include residential use in an amount of gross floor area equal to 60 percent or more of the gross floor area in non-residential use, except for development that is an elementary or secondary school, or a hotel with 100 rooms/suites or fewer.
C.
Two lots of up to 21,600 square feet each, separated by an alley and connected above grade by a skybridge or other similar means shall be considered two separate lots for the purposes of this Section 23.48.232. Such a connection above grade and across the alley may be allowed pursuant to the City Council's approval of an aerial alley vacation or temporary use permit.
D.
Non-residential structures on adjacent lots not separated by an alley, subject to this Section 23.48.232, shall not be internally connected.
E.
Non-residential uses existing prior to November 6, 1996, that do not meet the requirements of this Section 23.48.232 are allowed to expand by an amount of gross floor area not to exceed 20 percent of the existing gross floor area, without meeting the requirements of this Section 23.48.232. This provision may only be used once for an individual use.
F.
Non-residential use exception. A non-residential structure may be permitted where a residential or mixed-use structure would otherwise be required, subject to the following:
1.
The project is comprised of two or more lots within a SM-SLU/R 65/95 zone; and
2.
The amount of gross floor area in residential use in the structures on both lots is equal to at least 60 percent of the total gross floor area of the total combined development on the lots included in the project; and
3.
The non-residential structure is subject to design review to ensure compatibility with the residential character of the surrounding area; and
4.
The project meets one or more of the following:
a.
The project includes the rehabilitation of a Landmark structure or incorporates structures or elements of structures of architectural or historical significance as identified in the Seattle Comprehensive Plan or design guidelines; or
b.
The project includes general sales and service uses, eating and drinking establishments, major durables retail sales uses, entertainment uses, human service uses, or child care centers at the street level in an amount equal to 50 percent of the structure's footprint; or
c.
On the lot(s) accommodating the required amount of gross floor area in residential use, as specified in subsection 23.48.232.F.2, a minimum of ten percent of all new units in the project are either provided as moderate-income units or townhouses.
(Ord. 126855, § 23, 2023; Ord. 125291, § 9, 2017; Ord. 124883, § 13, 2015.)
A.
The following requirements for upper-level setbacks in this subsection 23.48.235.A apply to structures on lots abutting a street shown on Map A for 23.48.235, except for those structures with non-residential uses above 85 feet in height or residential uses above the base height limit for residential use, which are subject to the upper-level setback requirements of subsection 23.48.245.C.
1.
For all zones except the SM-SLU 240/125-400 zone, any portion of a structure greater than 45 feet in height is required to set back from a lot line abutting a street shown on Map A for 23.48.235. In the SM-SLU 240/125-400 zone, portions of a structure greater than 75 feet in height are required to set back from a lot line abutting a street shown on Map A for 23.48.235.
2.
A setback of 1 foot for every 2 additional feet of height is required for any portion of a structure exceeding the maximum height permitted without a setback according to subsection 23.48.235.A.1, up to a maximum setback of 15 feet measured from the street lot line, as shown in Exhibit A for 23.48.235.
Map A for 23.48.235
Upper-Level Setbacks
B.
Upper-level setbacks in the SM-SLU 85/65-160 zone. The following requirements for upper-level setbacks in this subsection 23.48.235.B apply to all development in the SM-SLU 85/65-160 zone on the blocks bounded by Valley Street, Mercer Street, Westlake Avenue North, and Fairview Avenue North as shown in Exhibit B for 23.48.012:
1.
Portions of a structure above 45 feet in height shall set back a minimum of 15 feet from street lot lines abutting Valley Street, Westlake Avenue North, Terry Avenue North, Boren Avenue North, and Fairview Avenue North as shown in Exhibit B for 23.48.235.
2.
In addition to the upper-level setbacks specified in subsection 23.48.235.B.1, additional upper-level setbacks are required for tower structures that include residential use above the base height limit for residential use, or hotel use above a height of 85 feet, according to the provisions of subsection 23.48.245.C.3.
Exhibit A for 23.48.235
Stepped Upper-Level Setbacks
Exhibit B for 23.48.235
Upper-Level Setback from Specified Streets in SM-SLU 85/65-160 Zone
C.
Upper-level setbacks on alleys in the SM-SLU/R 65/95 zone. For lots abutting an alley in the SM-SLU/R 65/95 zone, portions of a structure greater than 25 feet in height shall set back a minimum of 1 foot from the alley lot line for every 2 feet of additional height above 25 feet, up to a maximum setback of 15 feet measured from the alley lot line, as shown in Exhibit A for 23.48.235.
D.
Projections permitted in required upper-level setbacks. Horizontal projections, including decks, balconies with open railings, eaves, cornices, and gutters are permitted to extend a maximum of 4 feet in required setbacks as shown in Exhibit C for 23.48.235.
Exhibit C for 23.48.235
Horizontal Projection into Upper-level Setbacks
A.
Street-level development standards in Section 23.48.040 apply to all streets in SM-SLU zones designated as Class 1 Pedestrian Streets, Class 2 Pedestrian Streets, or Neighborhood Green Streets as shown on Map A for 23.48.240.
B.
General facade requirements
1.
Permitted setbacks from street lot lines. Except on lots subject to the provisions of subsection 23.48.240.C, the street-facing facades of a structure are permitted to set back from the street lot line as follows:
a.
The street-facing facades of structures abutting Class 1 Pedestrian Streets, as shown on Map A for 23.48.240, shall be built to the street lot line for a minimum of 70 percent of the facade length, provided that the street frontage of any required outdoor amenity area, or other required open space, or usable open space provided in accordance with subsections 23.48.240.E, 23.48.240.F, or 23.48.245.B.4.c is excluded from the total amount of frontage required to be built to the street lot line (Exhibit A for 23.48.240).
Exhibit A for 23.48.240
Percentage of facade at lot line
Map A for 23.48.240
Pedestrian Street Classifications in South Lake Union
b.
Except on Class 1 Pedestrian Streets, as shown on Map A for 23.48.240, and as specified in subsection 23.48.240.B.1, the street-facing facade of a structure may be set back up to 12 feet from the street lot line subject to the following (Exhibit B for 23.48.240):
1)
The setback area shall be landscaped according to the provisions of subsection 23.48.055.A.3;
2)
Additional setbacks are permitted for up to 30 percent of the length of portions of the street-facing facade that are set back from the street lot line, provided that the additional setback is located 20 feet or more from any street corner; and
3)
Any required outdoor amenity area, or other required open space, or usable open space provided in accordance with subsections 23.48.240.E, 23.48.240.F, or 23.48.245.B.4.c is not considered part of the setback area and may extend beyond the limit on setbacks from the street lot line that would otherwise apply under subsections 23.48.240.B.1.b.1 or 23.48.240.B.1.b.2.
Exhibit B for 23.48.240
Street-Level Setbacks
C.
Facade requirements in the SM-SLU 85-240 zone. In addition to the provisions of subsection 23.48.040.A, except for religious facilities, the following standards apply in the SM-SLU 85-240 zone:
1.
Required street-facing facade setback for residential uses
a.
All street-facing facades along 8 th Avenue North, except those portions occupied by permitted non-residential uses and subject to the provisions of subsection 23.48.240.C.2, are required to set back an average of 10 feet from the street lot line, provided that no setback shall be less than 5 feet from the street lot line, and any setback area further than 15 feet from the street lot line shall not be included in the averaging calculation.
b.
The setback requirement of this subsection 23.48.240.C.1 does not apply to the following:
1)
Portions of the street-facing facade that are located no more than 40 feet from a street corner; and
2)
Portions of the structure that are partially below grade and meet the following conditions:
a)
The roof of the partially below-grade portion of the structure in the setback area is no more than 4 feet above existing or finished grade, whichever is lower;
b)
The surface of the roof is used for private access or amenity area for abutting units; and
c)
A landscaped area a minimum of 2 feet in depth measured from the abutting street lot line is maintained at grade level.
c.
Only ground-related residential units and floor area for building lobbies for residential uses are permitted within the portion of the story of the structure abutting the required setback area, and each unit or lobby area is required to have direct access to the required setback area.
d.
The street-level facade of lobby area abutting the required setback shall not exceed a width equivalent to 20 percent of the total width of the required setback measured along 8 th Avenue North.
e.
Private amenity area, unenclosed stoops, steps, or porches related to the abutting, ground-related residential units or common amenity area with access to residential lobbies shall be provided within the required setback area.
f.
Bay windows, canopies, horizontal projection of decks, balconies with open railings, eaves, cornices, gutters, and other similar architectural features are permitted to extend no more than 4 feet into required setbacks.
g.
Driveways providing access to parking within a structure are not permitted within the required setback area.
2.
Development standards for non-residential uses other than improvements to or development of new religious facilities. Non-residential uses are permitted on the ground floor of mixed-use structures, subject to the following:
a.
Non-residential uses are not permitted to extend more than 20 feet above the street-level.
b.
Non-residential uses are only permitted on corner portions of the lot that are within 20 lineal feet of intersecting street lot lines.
D.
Additional requirements in the SM-SLU 85/65-160 zone on the blocks bounded by Valley Street, Mercer Street, Westlake Avenue North, and Fairview Avenue North. Street-level facades on that portion of Terry Avenue between Mercer Street and Valley Street shall be set back an average of 10 feet from the lot line. In addition all street-level facades on Valley Street within 50 feet of Terry Avenue shall be set back an average of 50 feet from the lot line. For the purposes of the standards in Chapter 23.48, the Class 1 Pedestrian Street classification on Terry Avenue North as depicted on Map A for 23.48.240, extends 120 feet south of Valley Street.
E.
Development standards for required street-level uses. In addition to street-level uses required by subsection 23.48.005.D, and street-level uses exempt from FAR calculations under the provisions of subsection 23.48.220.B.2, structures with a street-facing facade along 8th Avenue N., located on blocks identified pursuant to subsection 23.48.230.B, the minimum street frontage of required street-level uses is 10 percent of that street-facing facade. The remaining street frontage at street level may contain other permitted uses and/or pedestrian or vehicular entrances. The frontage of any outdoor common amenity area required for residential uses or other required open space shall not be counted in street frontage.
F.
Required open area in the SM-SLU 85/65-160 zone. In the SM-SLU 85/65-160 zone on the blocks bounded by Valley Street, Mercer Street, Westlake Avenue North, and Fairview Avenue North, a minimum of 20 percent of the lot area shall be provided as open area that is located and configured to allow easy pedestrian access to project occupants from streets or other abutting public spaces, including access for persons with disabilities. The open area shall include the following:
1.
A minimum of 60 percent of the required open area shall be provided as usable open space that meets the following conditions:
a.
The usable open space is open from the ground to the sky and is visible and accessible to pedestrians from an abutting street, including persons with disabilities;
b.
The open space is substantially at street level, although portions are permitted to be within 4 feet of street level, provided that grade changes are gradual and do not significantly disrupt the continuity of the space, and no part of the open space is significantly above or below the grade of the nearest abutting street;
c.
The open space has a minimum horizontal dimension of 15 feet; and
d.
The open space enhances visual and physical pedestrian connections between South Lake Union Park and development on the lot, and is accessible to the public, free of charge, during the hours of operation of South Lake Union Park.
2.
At the applicant's option, up to 40 percent of the required open area may be provided as any combination of:
a.
A woonerf that serves as a through-block pedestrian passageway and that satisfies the following:
1)
The passageway is open to the sky, has a minimum width of 20 feet, and provides a direct and continuous connection between the north/south avenues abutting the lot;
2)
The passageway is designed to provide safe pedestrian use, including a clear pathway demarcated as a priority pedestrian zone; and
3)
The passageway is adequately lit and available for pedestrian use 24 hours every day.
b.
Open areas with a horizontal dimension that is less than 15 feet abutting a street lot line if one or more of the following conditions are met:
1)
An area abutting a sidewalk that extends the pedestrian area onto the lot to accommodate additional streetscape amenities, such as landscaping, street furniture, special lighting, public art, or extensions of right-of-way green factor treatments;
2)
Setback areas abutting the street with a maximum depth of 10 feet that provide private usable open space, stoops, terraces, and/or landscaping for abutting ground level dwelling units that have direct access to the setback area, provided that the total amount of such setback areas does not exceed half of the 40 percent portion of the open area allowed by this subsection 23.48.240.F.2; or
3)
Additional sidewalk areas created by extending the curbline into the abutting street right-of-way that are improved with such streetscape amenities as landscaping, street furniture, special lighting, public art, or extensions of right-of-way green factor treatments.
c.
Usable elevated open space up to a maximum of 45 feet above street level, and that meets the following:
1)
At least 50 percent of the perimeter of the elevated open space is not enclosed by a facade and is open and oriented to provide views of South Lake Union Park; and
2)
The minimum horizontal dimension of the open space is 15 feet.
d.
No more than 50 percent of the open areas allowed pursuant to this subsection 23.48.240.F.2 shall be:
1)
Located more than 4 feet above street level; and
2)
Comprised of unenclosed covered areas, such as arcades or areas beneath building overhangs or overhead weather protection attached to abutting facades that abut sidewalks or pedestrian paths across the lot, or freestanding pavilions or kiosks that provide overhead weather protection.
3.
When authorized by the Director as a Type I decision pursuant to this subsection 23.48.240.F, lots within the SM-SLU 85/65-160 zone on the blocks bounded by Valley Street, Mercer Street, Westlake Avenue North, and Fairview Avenue North, may be combined, whether contiguous or not, for the purpose of allowing the open area required on a lot by this subsection 23.48.240.F to be met on one or more other lots within the SM-SLU 85/65-160 zone on the blocks bounded by Valley Street, Mercer Street, Westlake Avenue North, and Fairview Avenue North, according to the following provisions:
a.
The Director shall allow lots to be combined to meet open area requirements if the Director determines that the combined amount of open area on all lots meets or exceeds the minimum amount required by subsection 23.48.240.F.1, and that the added flexibility will achieve better open space conditions, as indicated by the following:
1)
The open area in general will provide for a better relationship between the development on the combined lots and South Lake Union Park;
2)
The added flexibility will allow for better integration of open space and surrounding development and improve accessibility among the blocks in the SM-SLU 85/65-160 zone on the blocks bounded by Valley Street, Mercer Street, Westlake Avenue North, and Fairview Avenue North and adjacent areas;
3)
A greater diversity of open space will be achieved for the area;
4)
Greater public use of the open space will be encouraged;
5)
The flexibility would result in open spaces that are more substantial is size and/or more adaptable to a greater variety of uses, or that establish a more significant neighborhood focal point than would otherwise likely occur; and/or
6)
The open space provided will enhance urban form by promoting better massing, more usable open spaces with increased solar access, enhanced views within and through the site, and other improved conditions.
b.
Prior to issuance of a Master Use Permit for any development that relies on one or more other lots within the SM-SLU 85/65-160 zone on the blocks bounded by Valley Street, Mercer Street, Westlake Avenue North, and Fairview Avenue North to meet the open area requirements of this subsection 23.48.240.F, the fee owners of both the property subject to the Master Use Permit and the lot(s) utilized to meet open area requirements for the Master Use Permit shall execute an appropriate agreement or instrument that is recorded in the King County real property records that:
1)
Includes the legal description of each lot;
2)
Acknowledges the specific extent to which the open space standards are met through a combination of the lots;
3)
Provides that its covenants and conditions shall run with the land and shall be specifically enforceable by the parties and by the City of Seattle; and
4)
Provides that the agreement or instrument shall be in effect unless the Master Use Permit expires, is cancelled, is withdrawn by the applicant, or the development allowed by the Master Use Permit no longer requires the other lot(s) in order to meet the open area requirements of this subsection 23.48.240.F.
4.
Usable open space provided under this subsection 23.48.240.F qualifies as either amenity area for residential uses under Section 23.48.045 or open space required for office use under Section 23.48.250, or both, if the applicable standards of these sections are met.
G.
Required usable open space in the SM-SLU 100/65-145, SM-SLU 175/85-280, and SM-SLU 240/125-440 zones
1.
Except as provided for in subsection 23.48.240.G.3 and 23.48.240.F, in the SM-SLU 100/65-145, SM-SLU 175/85-280, and SM-SLU 240/125-440 zones, on lots exceeding 30,000 square feet in area, proposed development containing extra floor area as provided for in Sections 23.48.021 and 23.48.221 shall provide usable open space as follows:
a.
The minimum amount of required usable open space shall be equal to 15 percent of the lot area and shall generally be accessible at street level, with variations in elevation allowed to accommodate changes in topography;
b.
The average horizontal dimension for any area qualifying as required usable open space is 20 feet, and the minimum horizontal dimension is 10 feet, except that there is no minimum horizontal dimension for additional pedestrian area abutting a sidewalk that is provided according to subsection 23.48.240.G.1.f;
c.
A minimum of 45 percent of the required usable open space shall be exterior space open to the sky and shall abut a street along at least one street frontage and provide both visual and physical access from the street to pedestrians, including persons with disabilities;
d.
Up to a maximum of 20 percent of the required usable open space may be covered overhead to provide weather protected space and a widened sidewalk area, if the following conditions are met:
1)
The open space abuts a street lot line and is open and accessible to pedestrians along the sidewalk and,
2)
If the space is covered by portions of the structure above, or is provided as an arcade open to the street, the minimum vertical clearance is 20 feet;
e.
Up to a maximum of 35 percent of the required usable open space may be provided as enclosed space, such as a public atrium, a shopping atrium, wintergarden, or covered portion of a through-block pedestrian connection, if the enclosed open space meets all of the following requirements:
1)
Direct access is provided to pedestrians, including persons with disabilities, from the street, or from an outdoor, usable public open space abutting the street;
2)
The space is provided as one continuous area that is a minimum of 2,000 square feet in size. Space, such as lobby area, that is used solely to provide access between the structure's principal street entrance and elevators, does not qualify as required usable open space;
3)
The minimum floor-to-ceiling height is 15 feet; and
4)
The space is accessible to the public during normal business hours.
f.
Up to a maximum of 10 percent of the required usable open space may be provided as an area abutting a sidewalk that extends the pedestrian area onto the lot or accommodates landscaping or extensions of right-of-way green factor treatment pursuant to Section 23.86.019. Minor changes between the sidewalk elevation and the elevation of the abutting sidewalk area are permitted to accommodate changes in topography, or to provide for features such as ramps that improve access for persons with disabilities.
2.
Usable open space provided under this subsection 23.48.240.G is eligible to qualify as either amenity area for residential uses under Section 23.48.045 or open space required for office use under Section 23.48.250, or all three, provided the applicable standards of these sections are met.
3.
Usable open space satisfying the requirements of this subsection 23.48.240.G may be provided on a site other than the project site, provided that the following conditions are met:
a.
The alternate open space site is located within an SM-SLU zone and within 650 feet of the project site;
b.
The amount of usable open space is no less than 10 percent of the lot area; and
c.
The owner of any lot on which off-site open space is provided records a restrictive covenant in a form acceptable to the Director assuring compliance with requirements of this subsection 23.48.240.G.
H.
Through-block pedestrian connections for large lot developments
1.
A through-block pedestrian connection meeting the standards of subsection 23.48.240.F.2 is required in the SM-SLU 100/65-145, SM-SLU 85-240, SM-SLU 85/65-160, SM-SLU 175/85-280, and SM-SLU 240/125-440 zones for development described as follows:
a.
Within the block defined as the area enclosed by street rights-of-way, the lot area of the development is a minimum of 60,000 square feet, except that the area of lots separated only by an alley right-of-way may be combined for the purposes of calculating the minimum required lot area;
b.
The lot area of the development abuts the two north/south avenues for a minimum linear distance of 120 feet along each avenue.
2.
The required through-block pedestrian connection shall meet the following development standards:
a.
A continuous pedestrian passageway shall extend across the development lot to both abutting avenues. The alignment of the pedestrian connection and the point at which it intersects each avenue shall be no closer than 100 feet to an east-west street abutting the block, and the connection at the avenues shall be accessible at grade level from the sidewalk.
b.
The required pedestrian connection shall have an average width of 25 feet and a minimum width of 15 feet. Any segment of the pedestrian passage that is covered from side to side shall have a minimum width of 20 feet.
c.
The pedestrian passage shall be open to the sky, except that up to 35 percent of the length of the passageway may be covered and enclosed, provided the minimum height of covered portions is 13 feet. Unenclosed area of the pedestrian connection may be counted as required open space; and
d.
If the pedestrian passage crosses an alley, the alley right-of-way shall be improved to ensure pedestrian safety and to reinforce the relationship between portions of the passageway on either side of the alley.
3.
The Director may allow modifications or waiver from the standards for though-block pedestrian connections as a Type I decision, if the applicant demonstrates that alternative treatments will better serve the development by enhancing pedestrian comfort and promoting greater use of the connection.
4.
For development providing a through-block pedestrian connection on blocks with an alley, the allowed FAR from any lot included in the development may be transferred to any other lot of the development across the alley, provided the receiving site is in a SM-SLU zone.
(Ord. 127198, § 6, 2025; Ord. 125603, § 36, 2018; Ord. 125267, § 25, 2017; Ord. 124883, § 13, 2015.)
Lots in the SM-SLU 100/65-145, SM-SLU 85/65-160, SM-SLU 175/85-280, SM-SLU 85-280, and SM-SLU 240/125-440 zones are subject to upper-level development standards that may include upper-level floor area limits, gross floor area limits and podium heights, upper-level setbacks, facade modulation, maximum facade widths, a limit on the number of towers per block, and tower separation requirements, as specified in this Section 23.48.245. For the purpose of this Section 23.48.245, a tower is a structure that exceeds a height of 65 feet for the SM-SLU 100/65-145 and SM-SLU 85/65-160 zones, 85 feet for the SM-SLU 175/85-280 and SM-SLU 85-280 zones, or 125 feet for the SM-SLU 240/125-440 zone.
A.
Upper-level floor area limit. For residential towers, the average gross floor area of all stories above the podium height specified on Map A for 23.48.245 shall not exceed 50 percent of the lot area, provided that:
1.
In no case shall the gross floor area of stories above the podium height exceed the gross floor area limits of subsection 23.48.245.B.2; and
2.
The limit on towers per block in subsection 23.48.245.F applies.
B.
Floor area limits and podium heights. The following provisions apply to development in the SM-SLU 100/65-145, SM-SLU 85-280, SM-SLU 85/65-160, SM-SLU 175/85-280, and SM-SLU 240/125-440 zones located within the South Lake Union Urban Center:
1.
Floor area limit for structures or portions of structures occupied by non-residential uses:
a.
Except as specified in subsections 23.48.245.B.1.b and 23.48.245.B.1.c, there is no floor area limit for non-residential uses in a structure or portion of structure that does not contain non-residential uses above 85 feet in height.
b.
There is no floor area limit for a structure that includes research and development uses and the uses are in a structure that does not exceed a height of 105 feet, provided that the following conditions are met:
1)
A minimum of two floors in the structure are occupied by research and development uses and have a floor-to-floor height of at least 14 feet; and
2)
The structure has no more than seven stories above existing or finished grade, whichever is lower, as measured from the lowest story to the highest story of the structure but not including rooftop features permitted under subsection 23.48.025.C. The lowest story shall not include a story that is partially below grade and extends no higher than 4 feet above existing or finished grade, whichever is lower.
c.
Within locations in the SM-SLU 175/85-280 zone meeting the standards in subsection 23.48.230.B for extra height in South Lake Union Urban Center, there is no floor area limit for structures that do not exceed a height of 120 feet and that are designed for research and development laboratory use and administrative office associated with research and development laboratories.
d.
For structures or portions of structures with non-residential uses that exceed a height of 85 feet, or that exceed the height of 105 feet under the provisions of subsection 23.48.245.B.1.b, or 120 feet under subsection 23.48.245.B.1.c, each story of the structure above the specified podium height indicated for the lot on Map A for 23.48.245, excluding rooftop features or stories with rooftop features that are otherwise permitted above the height limit under the provisions of subsection 23.48.025.C, is limited to a maximum gross floor area of 24,000 square feet per story, except that the average gross floor area for stories above the specified podium height is 30,000 square feet for structures on a lot that meets the following conditions:
1)
The lot has a minimum area of 60,000 square feet; and
2)
The lot includes an existing open space or a qualifying Landmark structure and is permitted an additional increment of FAR above the base FAR, as permitted in subsection 23.48.220.A.3.
2.
Floor area limit for residential towers. For a structure with residential use that exceeds the base height limit established for residential uses in the zone under subsection 23.48.225.A.1, the following maximum gross floor area limit applies:
a.
For a structure that does not exceed a height of 160 feet, excluding rooftop features or stories with rooftop features that are otherwise permitted above the height limit under the provisions of subsection 23.48.025.C, the gross floor area for stories with residential use that extend above the podium height indicated for the lot on Map A for 23.48.245 shall not exceed 12,500 square feet for each story, or the floor size established by the upper-level floor area limit in subsection 23.48.245.A, whichever is less.
b.
For a structure that exceeds a height of 160 feet, the following limits apply:
1)
The average gross floor area for all stories with residential use that extend above the podium height indicated for the lot on Map A for 23.48.245, and extending up to the maximum height limit, shall not exceed 10,500 square feet, or the floor size established by the upper-level floor area limit in subsection 23.48.245.A, whichever is less, except as allowed in subsection 23.48.245.A.
2)
The gross floor area of any single residential story above the podium height shall not exceed 11,500 square feet.
3.
Floor area limit for mixed-use development. This subsection 23.48.245.B.3 applies to structures or portions of structures that include both residential and non-residential uses, as provided for in subsection 23.48.220.A.2.
a.
For a story that includes both residential and non-residential uses, the gross floor area limit for all uses combined shall not exceed the floor area limit for non-residential uses, provided that the floor area occupied by residential use shall not exceed the floor area limit otherwise applicable to residential use.
b.
For a mixed-use structure with residential uses located on separate stories from non-residential uses, the floor area limits shall apply to each use at the applicable height limit.
4.
Podium standards. The standards for podiums apply only to structures or portions of structures that include a tower that is subject to a floor area limit.
a.
Height limit for podiums. The specific podium height for a lot is shown on Map A for 23.48.245, and the height limit extends from the street lot line to the parallel alley lot line, or, where there is no alley lot line parallel to the street lot line, from the street lot line to a distance of 120 feet from the street lot line, or to the rear lot line, if the lot is less than 120 feet deep. If the street lot line is not straight, the measurement will be from the point where the distance between the street lot line and the rear lot line is the narrowest. The podium height is measured from the grade elevation at the street lot line. In the SM-SLU 85/65-160 and the SM-175/85-280 zones on the blocks bounded by Valley Street or Roy Street, Mercer Street, Dexter Avenue North, and Fairview Avenue North, the line on Map A for 23.48.245 demarcating the different podium heights within these blocks is located 120 feet north of the northerly line of Mercer Street.
b.
Podium floor area limits. For the podiums of structures with residential uses that exceed the base height limit established for the zone under subsection 23.48.225.A.1 the average gross floor area for all the stories below the podium height specified on Map A for 23.48.245 shall not exceed 75 percent of the lot area required for residential tower development, except that floor area is not limited for each story if the total number of stories below the podium height is three or fewer stories, or if the conditions in subsection 23.48.245.B.4.c apply.
c.
The floor area limit on podiums in subsection g does not apply if a lot includes one of the following:
1)
Usable open space that meets the provisions of subsection 23.48.240.F; or
2)
A structure that has been in existence prior to 1965 and the following conditions are met:
a)
The structure is rehabilitated and maintained to comply with applicable codes and shall have a minimum useful life of at least 50 years from the time that it was included on the lot with the project allowed to waive the podium area limit;
b)
The owner agrees that the structure shall not be significantly altered for at least 50 years from the time that it was included on the lot with the project allowed to waive the podium area limit. Significant alteration means the following:
i.
Alteration of the exterior facades of the structure, except alterations that restore the facades to their original condition;
ii.
Alteration of the floor-to-ceiling height of the street-level story, except alterations that restore the floor-to-ceiling height to its original condition; or
iii.
The addition of stories to the structure, unless the proposed addition is no taller than the maximum height to which the structure was originally built, or the addition is approved through the design review process as compatible with the original character of the structure and is necessary for adapting the structure to new uses; or
c)
If the structure is removed from the lot, then any use of the portion of the lot previously occupied by the structure shall be limited to usable open space. The portion of the lot previously occupied by the structure shall be defined by a rectangle enclosing the exterior walls of the structure as they existed at the time it was included on the lot with the project allowed to waive the podium area limit, with the rectangle extended to the nearest street frontage.
d.
Additional height for podiums abutting Class 1 Pedestrian Streets. Podium height for structures fronting on Class 1 Pedestrian Streets pursuant to Section 23.48.240 may exceed podium height limits shown on Map A for 23.48.245 by 5 feet provided that floor-to-ceiling clearance at the ground floor is at least 15 feet.
5.
Aerial connections. Structures that use an additional increment of floor area provided in subsection 23.48.220.A.3.b may be connected by up to three aerial connections. The combined floor area in all aerial connections may not exceed 2,130 square feet and no one aerial connection may exceed 805 square feet. The floor area of aerial connections does not count toward the floor area limits of subsections 23.48.245.B.1 or 23.48.245.B.2. For purposes of this subsection 23.48.245.B.5, "aerial connections" are enclosed connections between structures that are located on the same block and that do not cross above public right-of-way.
Map A for 23.48.245
Podium Heights
C.
Upper-level setbacks
1.
The following requirements for upper-level setbacks in this subsection 23.48.245.C.1 apply to development that meets the following conditions:
a.
The development is on a lot abutting a street segment shown on Table A for 23.48.245; and
b.
For lots in the SM-SLU 85-280, SM-SLU 85/65-160, SM-SLU 175/85-280, and SM-SLU 240/125-440 zones located within the South Lake Union Urban Center, the development includes a tower structure with residential uses exceeding the base height limit established for residential uses in the zone under subsection 23.48.225.A.1, or includes a structure with non-residential uses that exceed a height of 95 feet.
2.
The required upper-level setbacks for development specified in subsection 23.48.245.C.1 shall be provided as follows:
a.
For portions of a structure facing the applicable street, the maximum height above which a setback is required is specified on Column 2 of Table A for 23.48.245.
b.
For portions of a structure exceeding the maximum height above which a setback is required, the minimum depth of the setback, measured from the abutting applicable street lot line, is specified on Column 3 of Table A for 23.48.245.
3.
Upper-level setbacks for residential tower development in the SM-SLU 85/65-160 zone on the blocks bounded by Valley Street, Mercer Street, Westlake Avenue North, and Fairview Avenue North. For tower structures that include residential use above the base height limit for residential use, or hotel use above a height of 85 feet, upper-level setbacks, in addition to those specified in subsection 23.48.235.B.1, are required as follows:
a.
Any portion of the structure above 65 feet in height shall set back a minimum of 30 feet from the following street lot lines:
1)
The street lot line abutting the eastern edge of Westlake Avenue North from Mercer Street to Valley Street; and
2)
The street lot line abutting the western edge of Fairview Avenue North from Mercer Street to Valley Street.
b.
For lots abutting the street lot line on the southern edge of Valley Street between Westlake Avenue North and Fairview Avenue North, any portion of a structure above 65 feet in height shall provide a minimum setback of 25 feet.
4.
Upper-level setbacks for tower structures in the SM-SLU 175/85-280 zone for the block bounded by Mercer Street, Fairview Avenue North, Republican Street, and Boren Avenue North. In addition to upper-level setback requirements in this subsection 23.48.245.C, for tower structures with residential or non-residential uses on lots in the SM-SLU 175/85-280 zone on the block bounded by Mercer Street, Fairview Avenue North, Republican Street, and Boren Avenue North, any portion of the tower structure above 85 feet shall be set back a minimum of 110 feet from the street lot line abutting Mercer Street.
5.
Projections permitted in required upper-level setbacks. The first 4 feet of horizontal projection of decks, balconies with open railings, eaves, cornices, and gutters are permitted in required setbacks, as shown in Exhibit B for 23.48.235.
D.
Facade modulation. For all structures with non-residential uses exceeding 85 feet in height, facade modulation is required for the street-facing portions of a structure located within 15 feet of a street lot line and exceeding the podium height specified for the lot on Map A for 23.48.245. No modulation is required for portions of a facade set back 15 feet or more from a street lot line.
1.
The maximum length of a facade without modulation is prescribed in Table B for 23.48.245. This maximum length shall be measured parallel to each street lot line, and shall apply to any portion of a facade, including projections such as balconies, that is located within 15 feet of street lot lines.
2.
If a portion of a facade that is within 15 feet of the street lot line is the maximum length permitted for an unmodulated facade, the length of the facade may be increased only if additional portions of the facade are set back a minimum of 15 feet from the street lot line for a minimum distance of 40 feet. If the required setback is provided, additional portions of the facade may be located within 15 feet of the street lot line.
E.
Maximum facade width. A maximum facade width applies to certain residential structures that exceed the base height limit for residential use, as specified in subsections 23.48.245.E.1, 23.48.245.E.2, and 23.48.245.E.3. The maximum facade width only applies to portions of the structure above the podium height specified for the lot on Map A for 23.48.245.
1.
Except in the SM-SLU 100/65-145 zone and the SM-SLU 85/65-160 zone on the blocks bounded by Valley Street, Mercer Street, Westlake Avenue North, and Fairview Avenue North, for portions of a structure that exceed the podium height but do not exceed a height of 160 feet, and that have an average floor size exceeding 10,500 square feet, the maximum facade width is 120 feet along the general east/west axis of the site (perpendicular to the Avenues).
2.
In the SM-SLU 100/65-145 zone, the maximum facade width is 105 feet along the general north/south axis of the site (parallel to the Avenues).
3.
In the SM-SLU 85/65-160 zone, on the blocks bounded by Valley Street, Mercer Street, Westlake Avenue North, and Fairview Avenue North, the maximum facade width for portions of structures above the podium height is 105 feet along the general east/west axis of the site (perpendicular to the Avenues).
F.
Limit on towers per block or block front
1.
For purposes of this subsection 23.48.245.F and subsection 23.48.245.G, a tower is considered to be "existing" and must be taken into consideration when other towers are proposed, under any of the following circumstances:
a.
The tower is physically present, except that a tower that is physically present is not considered "existing" if the owner of the lot where the tower is located has applied to the Director for a permit to demolish the tower and provided that no building permit for the proposed tower is issued until the demolition of the tower that is physically present has been completed;
b.
The tower is a proposed tower for which a complete application for a Master Use Permit or building permit has been submitted, provided that:
1)
The application has not been withdrawn or cancelled without the tower having been constructed; and
2)
If a decision on that application has been published or a permit on the application has been issued, the decision or permit has not expired, and has not been withdrawn, cancelled, or invalidated, without the tower having been constructed.
c.
The tower is a proposed tower for which a complete application for early design guidance has been filed and a complete application for a Master Use Permit or building permit has not been submitted, provided that the early design guidance application will not qualify a proposed tower as an existing tower if a complete Master Use Permit application is not submitted within 90 days of the date of the early design guidance public meeting if one is required, or within 90 days of the date the Director provides guidance if no early design meeting is required, or within 150 days of the first early design guidance public meeting if more than one early design guidance public meeting is held.
2.
Only one residential tower, or one tower with non-residential uses exceeding 85 feet in height, is permitted on a single block front, except as modified by subsections 23.48.245.F.3, 23.48.245.F.4, and 23.48.245.F.5.
3.
In the SM-SLU 85/65-160 zone, only one residential tower structure or one non-residential tower structure with a hotel use meeting residential development standards is permitted per block.
4.
In the SM-SLU 100/65-145 zone, more than one residential tower is permitted on a block front if the lot area is 30,000 square feet or more.
5.
Only one tower with non-residential uses exceeding 85 feet in height is permitted on a block, unless the tower meets the requirements of Section 23.48.230 or unless all of the following conditions apply:
a.
The tower is on a lot with a minimum area of 60,000 square feet. The area of one or more lots, separated only by an alley, may be combined for the purposes of calculating the minimum required lot area under this subsection 23.48.245.F.5. The minimum lot area is 59,000 square feet if the lot area was reduced below 60,000 square feet as a result of acquisition of right-of-way by the City;
b.
A minimum separation of 60 feet is provided between all portions of structures on the lot that exceed the limit on podium height shown on Map A for 23.48.245. If the lot includes a qualifying Landmark structure, an average separation of 60 feet is permitted;
c.
A minimum of 15 percent of the lot area is provided as landscaped open space at ground level, allowing for some area to be provided above grade to adapt to topographic conditions, provided that such open space is accessible to people with disabilities. The required open space shall have a minimum horizontal dimension of 15 feet and shall be provided as one continuous area;
d.
A pedestrian connection meeting the development standards of subsection 23.48.240.H for through-block pedestrian connections for large lot developments is provided through the lot to connect the north/south avenues abutting the lot. If the lot abuts an avenue that has been vacated, the connection shall be to an easement providing public access along the original alignment of the avenue. In addition, if the slope of the lot between the north/south avenues exceeds a slope of ten percent, a hillclimb shall be provided;
e.
The application of the provisions in this subsection 23.48.245.F.5 shall not result in more than two structures on a block with either non-residential uses above 85 feet in height or with residential use above the base height limit for residential use, except as allowed by subsection 23.48.245.F.5.f;
f.
The block front on the east side of Terry Avenue North between Denny Way and Thomas Street shall be treated as two block fronts, separated by the location of John Street, if extended between Boren Avenue North and Terry Avenue North;
g.
The Director shall make a determination of project impacts on the need for pedestrian and bike facilities and complete a voluntary agreement between the property owner and the City to mitigate impacts, if any. The Director may consider the following as impact mitigation:
1)
Pedestrian walkways on a lot, including through-block connections on through lots, where appropriate, to facilitate pedestrian circulation by connecting structures to each other and abutting streets;
2)
Sidewalk improvements, including sidewalk widening, to accommodate increased pedestrian volumes and streetscape improvements that will enhance pedestrian comfort and safety;
3)
Improvements to enhance the pedestrian environment, such as providing overhead weather protection, landscaping, and other streetscape improvements; and
4)
Bike share stations; and
h.
For development that exceeds 85,000 or more gross square feet of floor area in office use, the Director shall make a determination as to the project's impact on the need for open space. The Director may limit floor area or allow floor area subject to conditions, which may include a voluntary agreement between the property owner and the City to mitigate impacts, if any. The Director shall take into account Section 23.48.250 in assessing the demand for open space generated by an office development in an area permitting high employment densities.
1)
The Director may consider the following as mitigation for open space impacts:
a)
Open space provided on-site or off-site, consistent with the provisions in subsection 23.49.016.C, or provided through payment-in-lieu, consistent with subsection 23.49.016.D, except that in all cases the open space shall be located on a lot in an SM-SLU zone that is accessible to the development's occupants;
b)
Additional pedestrian amenities through on-site or streetscape improvements provided as mitigation for impacts on pedestrian facilities pursuant to subsection 23.48.245.F.5.g; and
c)
Public space inside or on the roof of a Landmark building.
2)
The Director may approve open space in lieu of that contained or referred to in subsection 23.49.016.C to mitigate project impacts, based on consideration of relevant factors, including the following:
a)
The density or other characteristics of the workers anticipated to occupy the development compared to the presumed office employment population providing the basis for the open space standards applicable under Section 23.49.016; and
b)
Characteristics or features of the development that mitigate the anticipated open space impacts of workers or others using or occupying the project.
6.
The block front on the east side of Terry Avenue N. between Denny Way and Thomas Street N. shall be treated as two block fronts, separated by the location of John Street N., if extended between Boren Avenue N. and Terry Avenue N.
G.
Tower separation. The following separation is required between a proposed tower with residential use above the base height limit for residential use and existing towers with residential use above the base height limit for residential use and that are located on the same block. For the purposes of this subsection 23.48.245.G, a block is defined as the area bounded by street lot lines and excluding alley lot lines. Alleys shall not be deemed to bisect a block into two separate blocks:
1.
A separation of 60 feet is required between all portions of the structures above the podium height limit for towers that exceed the base height limit for residential use and any tower consider to be existing according to subsection 23.48.245.F.1.
2.
No separation is required on blocks within the area bounded by Aurora Avenue North, John Street, Thomas Street, and 9 th Avenue North.
3.
The first 4 feet of the horizontal projection of unenclosed decks and balconies, and architectural features such as cornices shall be disregarded in calculating tower separation.
(Ord. 126685, § 29, 2022 [cross-reference update]; Ord. 126157, § 32, 2020; Ord. 125927, § 4, 2019; Ord. 125603, § 37, 2018; Ord. 125291, § 11, 2017; Ord. 125272, § 35, 2017; Ord. 124883, § 13, 2015.)
A.
Finding. The City Council finds that:
1.
With the increase in office development and the Comprehensive Plan's significant employment growth targets for the South Lake Union Urban Center, office workers will increasingly become major users of open space in the area.
2.
Additional major office projects in the South Lake Union Urban Center will result in increased use of public open space. If additional major office projects in the South Lake Union Urban Center do not provide open space to offset the additional demands on public open space caused by such projects, the result will be overcrowding of public open space, adversely affecting the public health, safety, and welfare.
3.
Recent and projected office development in the South Lake Union Urban Center is generally comparable to office development in the abutting Downtown Urban Center in terms of tenant characteristics, density, and open space need. Therefore, the findings that support the current open space requirement in major downtown office projects are applicable to conditions in the South Lake Union Urban Center.
4.
The additional open space needed to accommodate office workers is at least 20 square feet for each 1,000 square feet of office space.
5.
As in Downtown, smaller office developments in the South Lake Union Urban Center may encounter design problems in incorporating open space, and the sizes of open spaces provided for office projects under 85,000 square feet may make them less attractive and less likely to be used. Therefore, and in order not to discourage small scale office development, projects involving less than 85,000 square feet of new office space should be exempt from any open space requirement.
B.
Quantity of open space. Open space in the amount of 20 square feet for each 1,000 square feet of gross office floor area is required for the following projects:
1.
The project is on a lot located in an SM-SLU zone that has a height limit for non-residential uses that exceeds 100 feet; and
2.
The project includes 85,000 or more square feet of gross floor area in office use.
C.
Standards for open space. Open space may be provided on-site or off-site, as follows:
1.
On-site open space
a.
Private open space. Private open space on the project site may satisfy the requirement of this Section 23.48.250. Private open space shall be open to the sky and shall be consistent with the general conditions related to landscaping, seating, and furnishings for neighborhood open space in subsection 23.58A.040.C.5.b.2. Private open space satisfying this requirement must be accessible to all tenants of the building and their employees.
b.
Open space provided for a project on site or on an adjacent lot directly accessible from the project site to meet the open space requirements of subsection 23.48.240.F or subsection 23.48.240.G may be used to satisfy the requirement of this Section 23.48.250.
2.
Off-site public open space. Open space satisfying the requirement of this Section 23.48.250 may be on a site other than the project site, provided that it is within an SM-SLU zone and within 1/4 mile of the project site, open to the public without charge, and at least 3,000 square feet in contiguous area. The minimum size of off-site open space and maximum distance from the project may be increased or decreased for a project if the Director determines that such adjustments are reasonably necessary to provide for open space that will meet the additional need for open space caused by the project and enhance public access.
3.
Easement for off-site open space. The owner of any lot on which off-site open space is provided to meet the requirements of this Section 23.48.250 shall execute and record an easement in a form acceptable to the Director assuring compliance with the requirements of this Section 23.48.250. The Director is authorized to accept such an easement, provided that the terms do not impose any costs or obligations on the City.
4.
Open space provided under this Section 23.48.250 shall qualify as the open space required under subsections 23.48.240.F and 23.48.240.G, and this Section 23.48.250 if within 1/4 mile of the project site.
D.
Payment-in-lieu. In lieu of providing open space required under this Section 23.48.250, an owner may make a payment to the City if the Director determines that the payment will contribute to the improvement of a designated Neighborhood Green Street or to other public open space improvements abutting the lot or in the vicinity, in an amount sufficient to develop improvements that will meet the additional need for open space caused by the project, and that completion of the improvement within a reasonable time is feasible. Any such payment shall be placed in a dedicated fund or account and used within five years of receipt for the development of such improvements, unless the property owner and the City agree upon a different improvement involving the acquisition or development of public open space that will mitigate the impact of the project.
E.
Limitations. Open space satisfying the requirement of this Section 23.48.250 for any project shall not be used to satisfy the open space requirement for any other project. When a transmitting antenna is sited or proposed to be sited on a rooftop where required open space is located, see Section 23.57.013. Open space on the site of any building for which a Master Use Permit decision was issued or a complete building permit application was filed prior to November 15, 2015, that was not required under the Land Use Code in effect when such permit decision was issued or such application filed, but that would have been required for the same building by this Section 23.48.250, shall not be used to satisfy the open space requirement for any other project.
(Ord. 125603, § 38, 2018; Ord. 125291, § 12, 2017; Ord. 124883, § 13, 2015.)
A.
Landscaping requirements
1.
Landscaping required by this Section 23.48.255 to achieve the Green Factor score of .30 may be met on one or more other lots within the SM-SLU 85/65-160 zone, on the blocks bounded by Valley Street, Mercer Street, Westlake Avenue North, and Fairview Avenue North, or their adjacent rights-of-way when a Green Factor score of .50 or greater is achieved and when, prior to issuance of a Master Use Permit for any development that relies on one or more other lots within the SM-SLU 85/65-160 zone, on the blocks bounded by Valley Street, Mercer Street, Westlake Avenue North, and Fairview Avenue North, or their adjacent rights-of-way to meet the landscaping requirement of this Section 23.48.255, the fee owner of the lot(s) used to meet landscaping requirements shall execute a restrictive covenant that is recorded in the King County real property records that:
a.
restricts the use of that portion of the off-site property that is to meet the landscaping requirement of this Section 23.48.255;
b.
includes the legal descriptions of the lot burdened by the covenant;
c.
acknowledges the specific extent to which the Green Factor standards are met through a combination of the lots; and
d.
provides that the covenant shall be in effect until the Master Use Permit terminates or the development allowed by the Master Use Permit no longer requires the off-site landscaping.
B.
Parking in structures. Except as provided for by subsection 23.48.085.B, parking located at or above street level in a garage shall be screened on Class 1 and 2 Pedestrian Streets, shown on Map A for 23.48.240, parking is not permitted at street level unless separated from the street by other uses, provided that garage doors need not be separated.
(Ord. 124883, § 13, 2015.)
A.
Off-street parking spaces and bicycle parking are required according to Section 23.54.015 unless modified by this Section 23.48.280.
B.
Maximum parking limits
1.
Except as provided in subsections 23.48.280.B.2 and 23.48.280.B.3, the amount of parking reserved for or accessory to non-residential uses is limited to one parking space per every 1,000 square feet of gross floor area in non-residential use minus gross floor area in parking uses.
2.
If, on or before September 1, 2012, a lot is providing legal off-site parking for another lot, by means such as a recorded parking easement or off-site accessory parking covenant on the subject lot, then the number of such off-site parking spaces is allowed on the off-site lot in addition to one space per 1,000 square feet for non-residential uses minus gross floor area in parking uses on the subject lot.
3.
A lot in the SM-SLU 85/65-160 zone may exceed the maximum parking limits in this subsection 23.48.280.B without approval of a special exception pursuant to subsection 23.48.280.B.2 when, prior to issuance of a Master Use Permit for the lot that exceeds the maximum parking limit, the fee owners of both the property subject to the Master Use Permit for the lot that exceeds the maximum parking limit and the fee owners of the property subject to the Master Use Permit execute a restrictive covenant that is recorded in the King County real property records that limits the amount of parking that can be provided on other lot(s), such that the total quantity of parking provided as part of the Master Use Permit together with the parking to be provided on the other lot(s) subject to the restrictive covenant does not exceed the maximum parking limits in subsection 23.48.280.B.
C.
Parking at street level within structures. Parking is permitted in a story that is partially above street level and partially below street level in a structure permitted in a setback area under the provisions of subsection 23.48.240.C.2.b.
A.
Parking above the street level of a structure. The following provisions apply to development in the SM-SLU 100/65-145, SM-SLU 85/65-160, SM-SLU 175/85-280, SM-SLU 85-280, and SM-SLU 240/125-440 zones within the South Lake Union Urban Center:
1.
Except as provided in subsection 23.48.285.B for parking partially above street level and partially below street level, parking within structures is permitted above the street level under the following conditions:
a.
One story of parking is permitted above the first story of a structure for each story of parking provided below grade that is of at least equivalent capacity, up to a maximum of two stories of parking above the first story.
b.
For parking located on a story above the first story of a structure, a minimum of 30 percent of the length of the parking area measured along each street frontage shall be separated from the street by another use. On lots located at street intersections, the separation of parking area by another use shall be provided at the corner portion(s) of the structure.
c.
The parking area on a story above the first story of the structure that is not separated from the street by another use shall be enclosed by facades along all street frontages. Facades shall be designed to minimize the impacts of glare from vehicle headlights and interior garage lighting on pedestrian views from the street.
2.
The Director may permit more than two stories of parking above the first story of the structure, or may permit other exceptions to subsection 23.48.285.A, as a Type I decision, if the Director finds that locating parking below grade is infeasible due to physical site conditions such as a high water table or proximity to a tunnel. In such cases, the Director shall determine the maximum feasible amount of parking that can be provided below grade, if any, and the amount of additional parking to be permitted above street level. Site size is not a basis for granting an exception under this subsection 23.48.285.A.2.
B.
Accessory surface parking. In the SM-SLU 100/65-145, SM-SLU 85/65-160, SM-SLU 175/85-280, SM-SLU 85-280, and SM-SLU 240/125-440 zones in the South Lake Union Urban Center, accessory surface parking is prohibited unless separated from all street lot lines by another use within a structure.
A.
When a development is proposed that is expected to generate 50 or more employee single-occupant vehicle (SOV) trips in any one p.m. hour, the applicant shall prepare and implement a Transportation Management Program (TMP) consistent with requirements for TMPs in any applicable Director's Rule.
1.
For purposes of measuring attainment of SOV goals contained in the TMP, the proportion of SOV trips shall be calculated for the p.m. hour in which an applicant expects the largest number of vehicle trips to be made by employees at the site (the p.m. peak hour of the generator). The proportion of SOV trips shall be calculated by dividing the total number of employees using an SOV to make a trip during the expected peak hour by the total number of employee person trips during the expected peak hour.
2.
Compliance with this section does not supplant the responsibility of any employer to comply with Seattle's Commute Trip Reduction (CTR) Ordinance.
B.
An applicant who proposes multifamily development that is expected to generate 50 or more vehicle trips in any one p.m. hour or demand for 25 or more vehicles parking on the street overnight shall prepare and implement a TMP. The TMP shall be consistent with requirements for TMPs in any applicable Director's Rule. For purposes of measuring attainment of the SOV goal, the proportion of SOV trips shall be calculated for the p.m. hour in which an applicant expects the largest number of vehicle trips to be made by residents of the site (the p.m. peak hour of the generator). The proportion of SOV trips shall be calculated by dividing the total number of residential trips made by SOV during the expected peak hour by the total number of residential person trips.
C.
Each owner subject to the requirements of this section shall prepare a TMP as described in rules promulgated by the Director, as part of the requirements for obtaining a master use permit.
D.
The TMP shall be approved by the Director if, after consulting with Seattle Department of Transportation, the Director determines that the TMP measures are likely to achieve the mode-share targets for trips made by travel modes other than driving alone for the South Lake Union Urban Center in 2035 that are contained in Seattle's Comprehensive Plan's Transportation Element.
E.
All requirement to prepare and implement a TMP according to this Section 23.48.290 or to achieve additional floor area or additional height pursuant to subsections 23.48.021.D.2 or 23.48.230.f shall be satisfied solely by compliance with this Section 23.48.290.
(Ord. 125291, § 14, 2017)
The provisions in Sections 23.48.320 through 23.48.345 of the Seattle Mixed-Dravus (SM-D) zone are in addition to and supplement the provisions of Sections 23.48.005 through 23.48.095. In cases of conflicts between Sections 23.48.005 through 23.48.095 and Sections 23.48.320 through 23.48.345, the provisions in the SM-D zone apply.
A.
In the SM-D 55/95 zone, the height limit for portions of a structure in non-residential use is 55 feet and the height limit for portions of a structure in residential use is 95 feet.
B.
Exceptions for pitched roofs and rooftop features. Additional height above the applicable limit pursuant to subsection 23.48.325.A is allowed for pitched roofs and certain rooftop features, as set forth in subsections 23.48.025.B and 23.48.025.C.
Portions of a structure above 55 feet in height shall be set back at least 50 feet from West Dravus Street, except that the first 4 feet of the horizontal projection of decks, balconies with open railings, eaves, cornices, and gutters is permitted in the required setback, and pitched roofs and rooftop features as allowed by subsections 23.48.025.B and 23.48.025.C are allowed above the 55-foot height limit in the required setback.
(Ord. 125791, § 65, 2019.)
For projects that exceed a height of 55 feet, excluding pitched roofs and rooftop features permitted above the applicable height limit pursuant to subsections 23.48.025.B and 23.48.025.C, the applicant shall make a commitment that the proposed development will meet the green building standard and shall demonstrate compliance with that commitment, all in accordance with Chapter 23.58D.
(Ord. 125791, § 66, 2019.)
The provisions in Sections 23.48.420 through 23.48.445 of the Seattle Mixed-North Rainier (SM-NR) zone are in addition to and supplement the provisions of Sections 23.48.005 through 23.48.095. In cases of conflicts between Sections 23.48.005 through 23.48.095 and Sections 23.48.420 through 23.48.445, the provisions in the SM-NR zone apply.
In the SM-NR 145 zone, extra floor area above the base FAR and up to the maximum FAR shall be achieved as follows:
A.
Means to achieve extra residential floor area. The applicant shall:
1.
Achieve 65 percent of the extra residential floor area on the lot by using bonus residential floor area for affordable housing pursuant to Section 23.58A.014; and
2.
Achieve 35 percent of the extra residential floor area by using open space amenities pursuant to Section 23.58A.040.
B.
Means to achieve extra non-residential floor area. The applicant shall:
1.
Achieve 65 percent of the extra non-residential floor area on the lot by using bonus non-residential floor area for affordable housing pursuant to Section 23.58A.024; and
2.
Achieve 35 percent of the extra non-residential floor area by using open space amenities pursuant to Section 23.58A.040.
The following requirements for upper-level setbacks in this subsection 23.48.435 apply to structures on lots abutting a street shown on Map A for 23.48.435:
A.
Any portion of a structure greater than 45 feet in height is required to set back from a lot line abutting a street shown on Map A for 23.48.435.
B.
A setback of 1 foot for every 2 additional feet of height is required for any portion of a structure exceeding the maximum height permitted without a setback according to subsection 23.48.435.A, up to a maximum setback of 15 feet measured from the street lot line.
Map A for 23.48.435
Upper-Level Setbacks in North Rainier
(Ord. 124883, § 13, 2015.)
For projects exceeding the FAR in Table A for 23.45.445, the applicant shall make a commitment that the proposed development will meet the green building standard and shall demonstrate compliance with that commitment, all in accordance with Chapter 23.58D.
(Ord. 125791, § 71, 2019)
The provisions in this Subchapter V of Chapter 23.48 establish regulations for SM-U zones. The SM-U zone designation refers to all zones in the SM category in the University Community Urban Center, and includes the SM-U/R zone. The provisions in this Subchapter V of Chapter 23.48 supplement the provisions of Subchapter I of Chapter 23.48. In cases of conflicts between the provisions in Subchapter I of Chapter 23.48 and this Subchapter V of Chapter 23.48, the provisions in this Subchapter V shall govern.
(Ord. 125267, § 26, 2017.)
A.
Conditional uses. Flexible-use parking garages shall only be permitted as an administrative conditional use if the provisions of subsection 23.48.605.B are met.
B.
To approve a flexible-use parking garage as an administrative conditional use, the Director shall, after consulting with the Director of Transportation, find that:
1.
Traffic from the garage will not have substantial adverse effects on peak hour traffic flow to and from Interstate 5 or on traffic circulation in the area around the garage;
2.
The vehicular entrances and exits to the garage are located so that they will not disrupt traffic, pedestrian circulation, bicycle circulation, or transit routes;
3.
The garage will be operated by a parking company whose primary purpose is to support the University Community Urban Center business community by providing and managing parking facilities for its customers, business owners, and employees.
C.
Required street-level uses
1.
One or more of the following uses listed in this subsection 23.48.605.C.1 are required at street level along the street-facing facades abutting streets shown on Map A for 23.48.605:
a.
General sales and service uses;
b.
Eating and drinking establishments;
c.
Entertainment uses;
d.
Public libraries;
e.
Public parks;
f.
Arts facilities;
g.
Religious facilities;
h.
Human services uses;
i.
Child care centers;
j.
Light rail transit stations; and
k.
Low-income housing.
2.
Standards for required street-level uses. Required street-level uses shall meet the development standards in subsection 23.48.040.C.
Map A for 23.48.605
Locations of street-level use requirements
(Ord. 126855, § 24, 2023; Ord. 126287, § 9, 2021; Ord. 126131, § 9, 2020; Ord. 125558, § 22, 2018; Ord. 125267, § 26, 2017.)
A.
When a development is proposed that is expected to generate 50 or more employee or student single-occupant vehicle (SOV) trips in any one p.m. hour, the applicant shall prepare and implement a Transportation Management Program (TMP) consistent with requirements for TMPs in any applicable Director's Rule.
1.
For purposes of measuring attainment of SOV goals contained in the TMP, the proportion of SOV trips shall be calculated for the p.m. hour in which an applicant expects the largest number of vehicle trips to be made by employees and students at the site (the p.m. peak hour of the generator). The proportion of SOV trips shall be calculated by dividing the total number of employees and students using an SOV to make a trip during the expected peak hour by the total number of employee and student person trips during the expected peak hour.
2.
Compliance with this Section does not supplant the responsibility of any employer to comply with Chapter 25.02.
B.
An applicant who proposes multifamily development that is expected to generate 50 or more vehicle trips in any one p.m. hour or demand for 25 or more vehicles parking on the street overnight shall prepare and implement a TMP. The TMP shall be consistent with requirements for TMPs in any applicable Director's Rule. For purposes of measuring attainment of the SOV goal, the proportion of SOV trips shall be calculated for the p.m. hour in which an applicant expects the largest number of vehicle trips to be made by residents of the site (the p.m. peak hour of the generator). The proportion of SOV trips shall be calculated by dividing the total number of residential trips made by SOV during the expected peak hour by the total number of residential person trips.
C.
Each owner subject to the requirements of this Section shall prepare a TMP as described in rules promulgated by the Director, as part of the requirements for obtaining a master use permit.
D.
The TMP shall be approved by the Director if, after consulting with the Seattle Department of Transportation, the Director determines that the TMP measures are likely to achieve the mode-share targets for trips made by travel modes other than driving alone for the University Community Urban Center in 2035 that are contained in Seattle's Comprehensive Plan's Transportation Element.
(Ord. 125267, § 26, 2017.)
A.
Maximum height limits
1.
The maximum structure height in SM-U zones is shown as the number(s) following the zone designation. For zones that include two numbers, the first number of the height suffix is the height limit for midrise structures and the second number following the dash is the maximum height limit for highrise structures. A highrise structure is any structure that exceeds the height limit for midrise structures, excluding rooftop features. Highrise structures are subject to the highrise floor area limits in subsection 23.48.645.A.
2.
A minimum lot size of 12,000 square feet is required for a highrise structure.
B.
Provisions for rooftop features allowed above the height limit are in subsection 23.48.025.C. For zones with two height limits in the height suffix, the provisions in subsection 23.48.025.C apply to both height limits.
(Ord. 125267, § 26, 2017.)
A.
Floor area ratio (FAR) limits. Except as otherwise specified in this Section 23.48.620, FAR limits for the SM-U 85 zone are as shown in Table A for 23.48.620; FAR limits for the SM-U/R 75-240 zone are as shown in Table B for 23.48.620 and FAR limits for the SM-U 75-240 and the SM-U 95-320 zones are as shown in Table C for 23.48.620.
B.
Additional increment of chargeable floor area above the base FAR. On lots that include uses or features specified in this subsection 23.48.620.B, an additional increment of chargeable floor area is permitted above the base FAR as follows:
1.
For all SM-U zones, an additional increment of 0.5 FAR is permitted above the base FAR of the zone shown on Table A, Table B, or Table C for 23.48.620 if a lot includes one or more qualifying Landmark structures, subject to the following conditions:
a.
The structure is rehabilitated to the extent necessary so that all features and characteristics controlled or designated by ordinance pursuant to Chapter 25.12 are in good condition and consistent with the applicable ordinances and with any certificates of approval issued by the Landmarks Preservation Board, all as determined by the Director of the Department of Neighborhoods; and
b.
A notice is recorded in the King County real estate records, in a form satisfactory to the Director, regarding the bonus allowed and the effect thereof under the terms of this Chapter 23.48.
c.
For purposes of this subsection 23.48.620.B, a "qualifying Landmark" is a structure that:
1)
Is subject, in whole or in part, to a designating ordinance pursuant to Chapter 25.12; and
2)
Is on a lot on which no improvement, object, feature, or characteristic has been altered or removed contrary to any provision of Chapter 25.12 or any designating ordinance.
d.
A qualifying Landmark that allows for the additional increment of FAR under this subsection 23.48.620.B.1 is not eligible as a Landmark transferable development rights (TDR) or transferable development potential (TDP) sending site. For so long as any of the chargeable floor area of the increment allowed above the base FAR of the zone under this subsection 23.48.620.B.1 remains on the lot, each Landmark for which the increment was granted shall remain designated as a Landmark under Chapter 25.12 and the owner shall maintain the exterior and interior of each qualifying Landmark in good condition and repair and in a manner that preserves the features and characteristics that are subject to designation or controls by ordinance unless the Landmarks Preservation Board has issued a certificate of approval for the modification or demolition of the Landmark.
e.
In the SM-U/R 75-240 zone, the additional increment of chargeable floor area allowed above the base FAR shall be for residential use only.
2.
For all SM-U zones, an additional increment of up to 0.5 FAR is permitted above the base FAR of the zone if a lot includes a human service use, subject to the following conditions:
a.
The amount of the additional increment of FAR permitted above the base FAR under this subsection 23.48.620.B.2 shall not exceed the gross square footage of floor area in the human service use.
b.
The minimum area provided for one or more human service uses shall be 2,500 square feet of interior space;
c.
The location of the human service use shall be accessible to the elderly and disabled, with exterior and interior directional signage clearly visible from the street;
d.
The space shall be occupied by a human service use for the life of the project on the lot. If the property owner is unable to secure a human service use to occupy the space, after a six-month period, if the space remains unoccupied, it may be used for non-profit purposes as a community and/or public area, under the following conditions:
1)
The space shall be made available to community and charitable organizations and is not to be used for profit-making activities;
2)
The space shall be made available for both day and evening use;
3)
The space shall be made available on a first-come, first-served basis to community and charitable organizations;
4)
There shall be no charge for use of the space, except for any costs that may be necessary by the interim use; and
5)
Availability of the space and the contact person(s) shall be made known to community and charitable groups through means such as newspaper articles, radio announcements, flyers to organizations, and contacts with umbrella organizations such as the University District Conversation on Homelessness.
e.
The property owner shall maintain all elements of the human service space, including but not limited to landscaping, seating, and lighting, in a safe, clean, and well-maintained condition, and the following shall apply:
1)
Any additional improvements beyond the minimum requirements needed for specific service activities may be provided either by the applicant or the agency. The specifics shall be included in the lease agreement. Depending on the terms of the agreement, the tenant may be required to pay for utilities, insurance, taxes, and maintenance expenses. In addition, the tenant may be required to pay for development costs specifically required to meet the needs of the lessee.
2)
Rent shall not be charged for use of the space.
f.
No permit after the first building permit, no permit for any construction activity other than excavation and shoring, and no permit for occupancy of existing floor area by any use shall be issued for development that includes a human service use to gain the increase in base FAR until the applicant has demonstrated to the satisfaction of the Director that a lease with a qualified human service agency has been secured to occupy the space for a minimum of five years.
g.
In the SM-U/R 75-240 zone, the additional increment of chargeable floor area allowed above the base FAR shall be for residential use only.
3.
For the SM-U 75-240 and SM-U 95-320 zones, an additional increment of 0.5 FAR is permitted above the base FAR of the zone as shown on Table B for 23.48.620 if a lot includes a preschool, an elementary school, or a secondary school, provided that the school meets the conditions for floor area exempt from FAR in subsection 23.48.620.C.4.
4.
For the SM-U 85 zone, an additional increment of chargeable floor area up to 0.5 FAR is permitted above the base FAR of the zone shown on Table A for 23.48.620 for a lot that includes one or more vulnerable masonry structures included on a list of structures that meet specified criteria in a rule promulgated by the Director under Section 23.48.627, provided that the following conditions are met:
a.
The amount of the additional increment of FAR permitted above the base FAR under this subsection 23.48.620.B.4 shall not exceed the gross square footage of floor area in the vulnerable masonry structures retained on the lot, and shall in no case exceed 0.5 FAR; and
b.
The vulnerable masonry structure shall be retained according to the provisions of subsection 23.58A.042.F.3 for a structure that qualifies as a vulnerable masonry structure TDR or TDP sending site, and the structure shall be retained on the lot for the life of the project.
5.
The additional chargeable floor area allowed as an increment above the base FAR for individual uses and features specified in this subsection 23.48.620.B may be combined, provided that in no case shall the total amount of additional chargeable floor area allowed above the base FAR exceed 1 FAR and in no case shall more than one increment of additional floor area be allowed for the same use or feature on the lot.
6.
Extra floor area achieved as provided for in Section 23.48.622 shall be chargeable floor area added above the increment of FAR allowed under the provisions of this subsection 23.48.620.B.
C.
Floor area exempt from FAR. In addition to the exempt floor area identified in subsection 23.48.020.B, the following floor area is exempt from FAR limits:
1.
The floor area contained in a Landmark structure subject to controls and incentives imposed by a designating ordinance if the owner of the Landmark has executed and recorded an agreement acceptable in form and content to the Landmarks Preservation Board providing for the rehabilitation and maintenance of the historically significant features of the structure including but not limited to a certificate of approval for the modification of the Landmark. This exemption does not apply to a lot from which a Landmark TDR or TDP has been transferred under Chapter 23.58A and does not apply for purposes of determining TDR or TDP available for transfer under Chapter 23.58A;
2.
Except in the SM-U/R 75-240 zone, uses identified in subsection 23.48.605.C, whether required or not, that meet the development standards of subsection 23.48.040.C;
3.
Except in the SM-U/R 75-240 zone, uses identified in subsection 23.48.605.C that abut and have access onto a mid-block corridor meeting the standards of subsection 23.48.640.F and the applicable standards in Section 23.58A.040;
4.
Floor area for an elementary school or a secondary school, which may include minimum space requirements for associated uses including but not limited to academic core functions, child care, administrative offices, a library, maintenance facilities, food service, interior recreation, and specialty instruction space, provided that;
a.
Prior to issuance of a Master Use Permit, the applicant shall submit a letter to the Director from the operator of the school indicating that, based on the Master Use Permit plans, the operator has determined that the development would meet the operator's specifications; and
b.
Prior to issuance of a building permit, the applicant shall submit a written certification by the operator to the Director that the operator's specifications have been met;
5.
Floor area used for theaters or arts facilities, which for the purposes of this Section 23.48.620 may be operated either by for-profit or not-for-profit organizations;
6.
Floor area in a vulnerable masonry structure included on a list of structures that meet specified criteria in a rule promulgated by the Director under Section 23.48.627, provided that the structure is retained for a minimum of 50 years according to the provisions that apply to a qualifying "vulnerable masonry structure" TDR or TDP sending site in subsection 23.58A.042.F.3;
7.
All gross floor area of a light rail transit station and related passenger amenities;
8.
All gross floor area of a human service use;
9.
Floor area in enclosed portions of a mid-block corridor or other enclosed open space feature that would be eligible for a bonus according to Section 23.48.624 on the lot where the feature is located. The exemption applies regardless of whether a floor area bonus is obtained;
10.
Up to a maximum of 50,000 square feet of the floor area occupied by a City facility, including but not limited to fire stations and police precincts, but not a City facility predominantly occupied by office use;
11.
Up to 25,000 square feet of a community center that is open to the general public for a minimum of six hours per day, five days per week, 42 weeks per year; and
12.
All gross floor area in child care centers.
D.
Additional increment of chargeable floor area above the maximum FAR. For all SM-U zones, an additional increment of 1.0 FAR is permitted above the maximum FAR of the zone for a lot that includes residential dwelling units that comply with all of the following conditions:
1.
Unit number and size. The structure includes a minimum of ten dwelling units that each have a minimum area of 900 gross square feet and include three or more bedrooms; and
2.
Amenity area. Each dwelling unit shall have access to an outdoor amenity area that is located on the same story as the dwelling unit and meets the following standards:
a.
The amenity area has a minimum area of 1300 square feet and a minimum horizontal dimension of 20 feet; and
b.
The amenity area must be common amenity area, except that up to 40 percent of the amenity area may be private provided that the private and common amenity area are continuous and are not separated by barriers more than 4 feet in height; and the private amenity areas are directly accessible from units meeting these requirements; and
c.
The common amenity area includes children's play equipment; and
d.
The common amenity area is located at or below a height of 85 feet.
(Ord. 126685, § 30, 2022 [cross-reference update]; Ord. 126131, § 10, 2020; Ord. 125791, § 72, 2019; Ord. 125603, § 39, 2018; Ord. 125432, § 13, 2017; Ord. 125267, § 26, 2017.)
A.
Means to achieve extra floor area above the base FAR, or above the additional increment of chargeable floor area allowed above the base FAR by subsection 23.48.620.B
1.
General. The applicant shall:
a.
Achieve 65 percent of the extra floor area on the lot by using bonus residential floor area for affordable housing pursuant to Section 23.58A.014 or bonus non-residential floor area for affordable housing and child care pursuant to Section 23.58A.024; and
b.
Achieve 35 percent of the extra floor area through the use of one or more of the following options:
1)
Acquiring open space, Landmark, or vulnerable masonry TDR or TDP according to Sections 23.48.623 and 23.58A.042; or
2)
Providing open space amenities according to Sections 23.48.624 and 23.58A.040.
2.
Extra floor area in mixed-use projects. In a project that exceeds the base FAR, or exceeds the increment of additional chargeable floor area allowed above the base FAR under subsection 23.48.620.B, and that includes both residential and non-residential uses, the amount of extra residential floor area and extra non-residential floor area to be obtained shall be calculated as follows:
a.
Relative to the total chargeable gross floor area of all uses in the project, determine the percentage that is in residential use and the percentage that is in non-residential use.
b.
Determine the total amount of extra floor area in the project above the base FAR, or above the increment of additional chargeable floor area allowed above the base FAR under subsection 23.48.620.B, and, using the percentages derived in subsection 23.48.622.A.2.a, divide this total amount to determine the share of extra floor area that is to be obtained as extra residential floor area and the share that is to be obtained as extra non-residential floor area according to the applicable provisions of the zone.
B.
Green building performance. Applicants for development containing any extra floor area in SM-U zones shall make a commitment that the proposed development will meet the green building standard and shall demonstrate compliance with that commitment, all in accordance with Chapter 23.58D.
(Ord. 126685, § 31, 2022 [cross-reference update]; Ord. 125267, § 26, 2017.)
A.
General standards
1.
For the purposes of this Section 23.48.623, the transfer of development rights to gain extra non-residential floor area in a project on a receiving site is TDR and the transfer of development potential to gain extra residential floor area in a project on a receiving site is TDP.
2.
The following types of TDR and TDP may be transferred to the extent permitted in Table A for 23.48.623, subject to the limits and conditions of this Chapter 23.48 and the standards for the use of TDR and TDP in Section 23.58A.042:
a.
Landmark TDR and TDP;
b.
Open space TDR and TDP; and
c.
Vulnerable masonry structure TDR and TDP.
B.
Sending sites. Eligible sending site locations are shown on Table A for 23.48.623. Eligible TDR and TDP sending sites shall meet the definition of an open space, vulnerable masonry structure, or Landmark TDR or TDP sending site in Chapter 23.84A and comply with all applicable standards in this Chapter 23.48 and Section 23.58A.042.
C.
Receiving sites. Receiving site locations are shown on Table A for 23.48.623. Only lots zoned SM-U within the University Community Urban Center west of 15 th Avenue NE are eligible receiving sites, and the amount of extra floor area that can be gained through the use of TDR and TDP on an eligible receiving site is specified in Section 23.48.622.
D.
Except as provided in subsection 23.47A.009.E.2.b, the maximum amount of TDR and TDP that can be transferred from an eligible sending site shall not exceed an amount of floor area equivalent to the numerical value of the base FAR of the zone in which the sending site is located, as shown on Table A, Table B, and Table C for 23.48.620, multiplied by the lot area of the sending site and minus the sum of any chargeable floor area on the lot plus any TDR and TDP previously transferred.
(Ord. 125267, § 26, 2017.)
A.
In SM-U zones, extra floor area may be gained above the base FAR specified for the zone in Section 23.48.620 in projects that provide publicly accessible open space amenities in accordance with Section 23.58A.040 and subject to the limits and conditions of Section 23.48.622 and this Section 23.48.624.
B.
The following open space amenities are eligible for a floor area bonus to gain an amount of extra floor area specified in Section 23.48.622:
1.
Neighborhood open space;
2.
Green street improvements on designated Neighborhood Green Streets shown on Map A for 23.48.640;
3.
Green street setback on lots abutting a designated Neighborhood Green Street shown on Map A for 23.48.640; and
4.
Mid-block corridor.
C.
To be eligible for a floor area bonus, open space amenities shall comply with the applicable development standards and conditions specified in Section 23.58A.040, except that for a mid-block corridor, in addition to the conditions of Section 23.58A.040, the provisions of subsection 23.48.640.E apply.
(Ord. 125267, § 26, 2017.)
A.
Lots located on the same block in any SM-U zone may be combined, whether contiguous or not, solely for the purpose of allowing some or all of the capacity for chargeable floor area on one or more such lots under this Chapter 23.48 to be used on one or more other lots, according to the provisions of this Section 23.48.627.
B.
The applicable FAR for all lots in a combined lot development where all lots are located in the same zone shall be based on the height limit that applies to the tallest structure proposed in the combined lot development.
C.
If the lots of a combined lot development are located in different zones, the FAR for any lot shall be the applicable FAR of the zone in which it is located, based on the height of the structure proposed on the lot.
D.
In the SM-U 75-240 and SM-U 95-320 zones, any structure exceeding the height limit for midrise structures in a combined lot development must be located on an individual lot that meets the minimum size requirements of subsection 23.48.615.A.2.
E.
In a combined lot development that includes a lot in the SM-U/R zone, the amount of floor area in non-residential uses on any individual lot in the SM-U/R zone cannot exceed the FAR limit for non-residential uses on Table B for 23.48.620 as applied to that lot individually.
F.
Within the combined lot, the permitted chargeable floor area from one lot, referred to in this Section 23.48.627 as the "reduced lot," may be allowed on one or more other lots on the same block, referred to in this Section 23.48.627 as the "increased lot(s)," up to the maximum FAR limit.
G.
Gross floor area allowed on the increased lot shall be allowed in the following order:
1.
The first amount of gross floor area allowed on the increased lot shall be the chargeable floor area allowed up to the base FAR calculated on the increased lot, minus any existing chargeable floor area on the lot, and shall not be considered extra floor area.
2.
The second amount of gross floor area allowed on the increased lot shall be all gross floor area allowed above the base FAR up to the maximum FAR calculated on the increased lot and shall be considered extra floor area.
3.
The third amount of gross floor area allowed on the increased lot shall be all gross floor area allowed above the base FAR up to the maximum FAR calculated on the reduced lot and shall be considered extra floor area.
4.
The last amount of gross floor area allowed on the increased lot shall be all gross floor area allowed below the base FAR calculated on the reduced lot, minus any existing chargeable floor area on the lot, and shall not be considered extra floor area.
H.
The fee owners of each lot within the combined lot shall execute an agreement or instrument, which shall include the legal descriptions of each lot and shall be recorded in the King County Recorder's Office. In the agreement or instrument, the owners shall acknowledge the extent to which development capacity on the reduced lot shall be reduced by the use of chargeable floor area on the increased lot. The agreement or instrument shall also provide that such standards and conditions in this Section 23.48.627 shall covenant and run with the land and shall be specifically enforceable by the parties and by The City of Seattle.
I.
Development on any lot in a combined lot development shall not exceed or deviate from height limits or other development standards, except as specified in this Section 23.48.627.
(Ord. 125267, § 26, 2017.)
A.
The Director shall promulgate a rule listing the structures that meet the following eligibility criteria as a "vulnerable masonry structure" (VMS) TDR or TDP sending site under subsection 23.58A.042.F and that, as a vulnerable masonry structure, are exempt from the calculations for chargeable FAR under subsection 23.48.620.C.6:
1.
The structure is included in the Department of Neighborhoods Historic Resource Survey and has an assigned status classification as either Yes-Inventory or Yes-Hold; and
2.
The structure has unreinforced masonry bearing walls and is included in the list of unreinforced masonry structures (URMs) identified by the Department in April 2016, or any subsequent list pursuant to subsection 23.48.630.B. with a classification of Critical Risk (C), High Risk (H), or Medium Risk (M).
B.
The Director shall periodically update the list to respond to changed conditions and remove or add structures to the list to maintain consistency with the criteria specified in subsection 23.48.630.A.
(Ord. 125267, § 26, 2017.)
A.
Required setbacks in SM-U zones
1.
In the SM-U 85, SM-U 75-240, and SM-U 95-320 zones, a setback is required from specified street lot lines as shown on Table A for 23.48.640. If the required setback allows for averaging the depth of the setback from the street lot line, any setback area further than 10 feet from the street lot line shall not be included in the averaging calculation.
2.
All setback areas required by subsection 23.48.640.A.1 shall either be part of a usable open space or be landscaped according to standards in subsection 23.48.055.A.3, except that for setbacks required from lot lines abutting NE 45 th Street and NE 50 th Street, no landscaping is required if the setback area is paved to match the abutting sidewalk, and the Director, after consulting with the Director of the Seattle Department of Transportation, determines that the paved setback area will not conflict with Seattle Department of Transportation standards for the abutting sidewalk.
3.
Required setbacks in the SM-U/R 75-240 zone. On all streets in the SM-U/R 75-240 zone, an average setback of 5 feet is required from all street lot lines, subject to the following:
a.
No setback shall be less than 3 feet from the street lot line, and any setback area further than 10 feet from the street lot line shall not be included in the averaging calculation.
b.
The setback area shall either be part of a usable open space or landscaped according to standards in subsection 23.48.055.A.3.
4.
Underground structures are permitted in all required setback areas.
5.
Bay windows, canopies, horizontal projection of decks, balconies with open railings, eaves, cornices, gutters, and other similar architectural features that are at least 13 feet above the sidewalk elevation are permitted to extend up to 4 feet into the required setback.
6.
Setback areas eligible for floor area bonus. Areas provided as required street-level setbacks under this subsection 23.48.640.A that abut a designated Neighborhood Green Street shown on Map A for 23.48.640 are eligible for a floor area bonus as a green street setback, provided that the setback area complies with the development standards and conditions in Section 23.58A.040 for a green street setback.
B.
Setback requirements for street-level residential units and live-work units. In all SM-U zones, if a structure contains street-level, street-facing residential units or live-work units, facades that contain those uses shall set back an average of 7 feet from the street lot line, subject to the following:
1.
No setback shall be less than 5 feet from the street lot line, and any setback area further than 15 feet from the street lot line shall not be included in the averaging calculation.
2.
The following is permitted in the required setback area:
a.
Landscaped area accessible from individual dwelling units or from the principal entrance to the structure;
b.
Private or common useable open space or amenity area; and
c.
Unenclosed stoops, steps, decks, or porches related to the abutting residential or live-work units that are no higher than 4 feet above sidewalk grade, excluding hand rails and guard rails.
3.
Bay windows, canopies, horizontal projection of decks, balconies with open railings, eaves, cornices, gutters, and other similar architectural features that are at least 13 feet above the sidewalk elevation are permitted to extend up to 4 feet into the required setback.
C.
Transparency and blank facade standards. The transparency requirements and blank facade limits in subsection 23.48.040.B apply to all street-facing facades in the SM-U zone.
D.
Required street-level uses. Street-level uses listed in subsection 23.48.605.C and meeting the standards of subsection 23.48.040.C are required along the street frontages of the streets shown on Map A for 23.48.605.
Map A for 23.48.640
Street Classifications
E.
Mid-block corridor
1.
Required mid-block corridor
a.
In the area shown on Map B for 23.48.640, lots that meet the following criteria are required to provide a mid-block corridor:
1)
The lot exceeds 30,000 square feet in area and abuts two north/south streets. Lots exceeding 30,000 square feet that are separated only by an alley and that are developed as a combined lot development under Section 23.48.627 are also required to provide a mid-block corridor to connect the two abutting north/south streets; and
2)
The lot has a street frontage that exceeds 250 feet on at least one of the abutting north/south streets.
Map B for 23.48.640
Area requiring mid-block corridors
b.
On lots where a mid-block corridor is required in subsection 23.48.640.E.1, the following standards shall apply:
1)
The mid-block corridor shall provide an unobstructed, continuous pedestrian pathway that extends across the lot and any separating alley to connect both of the abutting streets, and if entrances include doors or gates, public access shall be provided as required for a mid-block corridor eligible for a floor area bonus in subsection 23.58A.040.C.4.a;
2)
The alignment of the pedestrian corridor and the point at which it intersects each street shall be no closer than 150 feet to an east/west street abutting the block;
3)
Entrances to the corridor at the street shall be accessible to pedestrians at grade level from the sidewalk, and the length of the corridor shall be at ground level, except that minor changes in grade are permitted to accommodate conditions on sloping sites, provided that all segments of the corridor are physically and visually connected and accessible to persons with disabilities;
4)
The average width of the corridor shall be 25 feet, with a minimum width of 15 feet. Any completely covered segment of the pedestrian corridor shall have a minimum width of 20 feet;
5)
The corridor shall include at least one usable open space with a minimum area of 1,500 square feet and a minimum horizontal dimension of 30 feet;
6)
The corridor shall be open to the sky, except that up to 35 percent of the length of the corridor may be covered and enclosed if located on private property, provided the minimum height of covered portions is 13 feet;
7)
If the pedestrian corridor crosses an alley, the alley right-of-way shall be improved for pedestrian safety and to reinforce the connection between portions of the corridor on either side of the alley; and
8)
The corridor shall include lighting for pedestrian safety during all hours that the corridor is available for public use.
c.
The Director may allow modifications from the standards for mid-block corridors in subsection 23.48.640.E.1.b as a Type I decision if the applicant demonstrates that alternative treatments will better serve the development by enhancing pedestrian comfort, better integrating the feature as part of the surrounding pedestrian network, and promoting greater use of the connection.
d.
The mid-block corridor requirement may be waived by the Director as a Type I decision if the Director has determined that one or more of the following conditions apply:
1)
A mid-block corridor already exists on the block and, given the proximity to the proposed development site, an additional corridor would not significantly enhance pedestrian circulation in the area and could detract from pedestrian activity on the street; or
2)
The location of existing buildings or amenities retained on the lot, such as a Landmark structure, make the inclusion of a mid-block corridor impractical or undesirable.
2.
Optional mid-block corridor. A mid-block corridor that is provided on a lot in an SM-U/R 75-240, SM-U 75-240, or SM-U 95-320 zone that is not within the area shown on Map B for 23.48.640, or that is on a lot within the area shown on Map B for 23.48.640 but is not required because of the lot size, is eligible for the mid-block corridor floor area bonus under the provisions of Section 23.48.624, provided that the corridor meets the standards in subsection 23.48.640.E.1.b and applicable standards in Section 23.58A.040.
3.
A mid-block corridor provided under this subsection 23.48.640.E, whether required or not, is eligible to qualify as amenity area for residential uses under Section 23.48.045, or required usable open space under subsection 23.48.650.C, or both, provided the applicable standards of Section 23.48.045 and subsection 23.48.650.C are met.
4.
A mid-block corridor provided according to the provisions of this subsection 23.48.640.E shall also qualify as required open space in Section 23.48.650, provided that the mid-block corridor meets the standards in Section 23.48.650.
F.
Overhead weather protection
1.
Continuous overhead weather protection, provided by such features as canopies, awnings, marquees, and arcades, is required along at least 60 percent of the street frontage of a structure, except that any portions of the street frontage occupied by residential dwelling units and any portion of a designated Landmark structure or vulnerable masonry structure shall not be included as part of the street frontage subject to this requirement.
2.
The covered area shall extend a minimum of 6 feet from the structure, unless otherwise provided in this subsection 23.48.640.F, and unless there is a conflict with existing or proposed street trees or utility poles, in which case the Director may adjust the width to accommodate such features as provided for in subsection 23.48.640.F.6.
3.
The overhead weather protection must be provided over the sidewalk, or over a walking area within 10 feet immediately adjacent to the sidewalk. When provided adjacent to the sidewalk, the covered walking area must be within 18 inches of sidewalk grade and meet Washington State requirements for barrier-free access.
4.
For overhead weather protection extending up to 6 feet from the structure, the lower edge of the overhead weather protection shall be a minimum of 8 feet and a maximum of 13 feet above the sidewalk or covered walking area. For weather protection extending more than 6 feet from the structure, the lower edge of the weather protection shall be a minimum of 10 feet and a maximum of 15 feet above the sidewalk or covered walking area.
5.
Lighting for pedestrians shall be provided. The lighting may be located on the facade of the building or on the overhead weather protection.
6.
Where the standards listed in this subsection 23.48.640.F conflict with the vertical and horizontal clearance requirements in the street right-of-way, the standards may be modified by the Director as a Type I decision in consultation with the Director of Transportation.
A.
Highrise floor area limits. All highrise structures are subject to a limit on the floor area of stories above 45 feet in height except that, on a lot that includes a light rail transit station, the limit on floor area only applies to stories above 55 feet in height.
1.
The height above which the highrise floor area limit applies is measured from the average grade level. Stories that do not exceed 45 feet in height or, on a lot that includes a light rail transit station, stories that do not exceed 55 feet in height, are not subject to a floor area limit.
2.
Highrise floor area limits in the SM-U 75-240 and SM-U 95-320 zones are shown on Table A for 23.48.645.
3.
In the SM-U/R 75-240 zone, for highrise structures, the gross floor area limit of stories or portions of stories that extend above 45 feet in height is 10,500 square feet.
4.
In the SM-U 75-240 and SM-U 95-320 zones, for stories subject to a floor area limit under subsection 23.48.645.A.2, the average and maximum gross floor area limit is 24,000 square feet up to 160 feet if the following apply:
a.
For each story subject to a floor area limit up to 160 feet in height, a minimum of 50 percent of the floor area is in research and development laboratory uses; and
b.
The minimum floor-to-floor height of each story subject to a floor area limit up to 160 feet in height is 14 feet.
B.
Upper-level setbacks in SM-U 75-240 and SM-U 95-320 zones. The following upper-level setbacks are required, and the height above which the setback is required shall be measured from the midpoint of the lot line from which the setback is required:
1.
On lots that do not include highrise structures, an average setback of 10 feet is required from all abutting street lot lines for any portion of a structure that exceeds 65 feet in height. The maximum depth of a setback that can be used for calculating the average is 20 feet.
2.
For a lot that is across a street from a lot in a LR zone or a MR zone, portions of any structure above 65 feet in height are required to set back an average of 10 feet from any portion of the street lot line that abuts the separating street. The maximum depth of a setback that can be used for calculating the average is 20 feet.
3.
For a lot in the SM-U 95-320 zone that abuts a lot in a MR zone, portions of any structure above 65 feet in height are required to set back a minimum of 15 feet from the abutting lot line.
C.
Upper-level setbacks in the SM-U/R 75-240 zone. The minimum required upper-level setbacks in the SM-U/R 75-240 zone are shown on Table B for 23.48.645.
D.
Side lot line setbacks. In the SM-U 75-240 and SM-U 95-320 zones, a minimum setback of 15 feet is required from any side lot line that is not a street or alley lot line for all portions of a highrise structure exceeding the midrise height limit of the zone.
E.
Separation. On lots with structures that exceed the midrise height limit, excluding rooftop features otherwise allowed above the height limit by subsection 23.48.025.C, separation between structures or portions of the same structure is required as follows:
1.
On separate lots. A minimum separation of 75 feet is required between highrise portions of structures on a lot and any existing highrise structures located on a separate lot in the same block, as shown on Exhibit A for 23.48.645; and
2.
Within a lot. A minimum separation of 75 feet is required between any highrise portion of a structure and all other portions of the same structure that exceed 45 feet in height, or portions of other structures on the lot that exceed 45 feet in height, as shown on Exhibit A for 23.48.645.
Exhibit A for 23.48.645
Required separation between highrise structures
3.
For the purposes of this subsection 23.48.645.E, the separation requirements for lots separated by an alley that are combined under the provisions of Section 23.48.627 shall be applied according to subsection 23.48.645.E.1, as if the lots were separate lots on the same block.
4.
If the presence of an existing highrise structure would preclude the addition of another highrise structure on a different block front of the same block, the Director may, as a special exception according to Chapter 23.76, reduce the required separation of this subsection 23.48.645.E by up to 20 percent. In determining the amount of reduction in separation allowed, the Director shall consider the following factors that may support the reduction in separation between structures and offset any related impacts:
a.
The potential impact of the additional highrise structure on adjacent structures located within the same block and on adjacent blocks, in terms of views, privacy, and shadows;
b.
Potential public benefits related to the development that offset the impact of the reduction in required separation between structures, such as the provision of public open space, improvements to a designated green street, or other streetscape improvements, or the preservation of a Landmark structure;
c.
The potential impact on the public environment, including shadow and view impacts on nearby streets and public open spaces; and
d.
Design characteristics of the additional structure, such as overall bulk and massing, orientation, facade treatments and transparency, visual interest, and other features that address the relationship between the two structures.
5.
For purposes of this subsection 23.48.645.E, a highrise structure is considered to be "existing" and must be taken into consideration when other highrise structures are proposed, under any of the following circumstances:
a.
The highrise structure is physically present, except that a highrise structure that is physically present is not considered "existing" if the owner of the lot where the highrise structure is located has applied to the Director for a permit to demolish the highrise structure and provided that no building permit for the proposed highrise structure is issued until the demolition of the highrise structure that is physically present has been completed;
b.
The highrise structure is a proposed highrise structure for which a complete application for a Master Use Permit or building permit has been submitted, provided that:
i.
The application has not been withdrawn or cancelled without the highrise structure having been constructed; and
ii.
If a decision on that application has been published or a permit on the application has been issued, the decision or permit has not expired, and has not been withdrawn, cancelled, or invalidated, without the highrise structure having been constructed.
c.
The highrise structure is a proposed highrise structure for which a complete application for early design guidance has been filed and a complete application for a Master Use Permit or building permit has not been submitted, provided that the early design guidance application will not qualify a proposed highrise structure as an existing highrise structure if a complete Master Use Permit application is not submitted within 90 days of the date of the early design guidance public meeting if one is required, or within 90 days of the date the Director provides guidance if no early design guidance public meeting is required, or within 150 days of the first early design guidance public meeting if more than one early design guidance public meeting is held.
F.
Projections. The first 4 feet of horizontal projection of decks, balconies with open railings, eaves, cornices, gutters, and similar architectural features are permitted in the upper-level setbacks required in subsections 23.48.645.B, 23.48.645.C, and 23.48.645.D, and in the separation area required in subsection 23.48.645.E.
A.
In all SM-U zones, for all structures on lots exceeding 12,000 square feet, facade modulation is required for the street-facing facade within 10 feet of a street lot line, except as specified in subsection 23.48.646.B.
B.
Modulation is not required for the following:
1.
For portions of the street-facing facade of a story that is less than 4 feet above sidewalk grade, as measured to the top of the floor above the partially below-grade story;
2.
For structures on a lot in the SM-U/R 75-240 zone that exceed 75 feet in height;
3.
For stories above street level that include parking that is separated from the street lot line by other uses along all street frontages; and
4.
For the portion of the street-facing facade that does not exceed a width of 100 feet above 45 feet in height.
C.
The maximum length of an unmodulated facade for midrise structures in SM-U 75-240 and SM-U 95-320 zones and for all structures in the SM-U 85 zone is prescribed in Table A for 23.48.646, and the maximum length of an unmodulated facade for highrise structures in the SM-U 75-240 and SM-U 95-320 zones is prescribed in Table B for 23.48.646. This maximum length shall be measured parallel to each street lot line, and shall apply to any portion of a facade, including projections such as balconies, that is located within 10 feet of street lot lines.
D.
If a portion of a street-facing facade within 10 feet of the street lot line extends to the maximum length permitted for an unmodulated facade, any further increase in the length of the facade is allowed only if the additional portions of the facade set back a minimum of 10 feet from the street lot line for a minimum length of 20 feet. If the required setback is provided, additional portions of the facade may be located within 10 feet of the street lot line. Permitted projections within the setback area are limited to the following:
1.
Roof eaves, including gutters and roof cornices and other similar architectural features, that may extend a maximum of 18 inches into the setback area; and
2.
Overhead weather protection, whether required by subsection 23.48.640.H or not.
A.
Open space meeting the standards of this Section 23.48.650 is required in all SM-U zones for development on a lot exceeding 30,000 square feet.
B.
Open space required by subsection 23.48.650.A shall meet the following standards:
1.
The minimum amount of required open space shall be equal to 15 percent of the lot area.
2.
Area qualifying as required open space may include both unenclosed usable open space and limited amounts of enclosed areas, as provided for in this subsection 23.48.650.B and as specified in Table A for 23.48.650.
3.
Minimum area. The required open space shall generally be provided as one connected area that is accessible at street level, with variations in elevation allowed to accommodate changes in topography or to provide for features such as ramps that improve access for persons with disabilities. If the required amount of open space exceeds 4,500 square feet, open space areas may be provided at separate locations on the lot, provided that no separate area is less than 2,000 square feet.
4.
The average horizontal dimension for an area qualifying as the required unenclosed usable open space is 20 feet, and the minimum horizontal dimension is 10 feet.
5.
Area provided as usable open space shall be open to the sky and directly accessible from an abutting street, with no structures containing floor area separating this portion of the required open space area from the street frontage, in order to allow both visual and physical access to the space for pedestrians from the street.
6.
Open space provided as unenclosed space covered overhead by the structure for weather protection shall abut a street lot line and be open and accessible to pedestrians along the sidewalk. The area shall have an average horizontal dimension of 10 feet and a minimum horizontal dimension of 5 feet, and the minimum vertical clearance of the covered space shall be 20 feet.
7.
Open space provided as enclosed interior space, such as a public atrium, a shopping atrium, winter garden, or covered portion of a mid-block pedestrian corridor, shall meet all of the following requirements:
a.
The space shall have direct access for pedestrians, including persons with disabilities, from the street, or from an outdoor, usable public open space abutting the street;
b.
The space shall be provided as one continuous area that is a minimum of 2,000 square feet in size, with an average horizontal dimension of 20 feet and a minimum horizontal dimension of 10 feet. Enclosed area that abuts and is accessible to exterior open space is not considered a separate area for the purposes of determining the minimum area requirements of subsection 23.48.650.B.3;
c.
The minimum floor-to-ceiling height of any enclosed area is 15 feet; and
d.
Space, such as lobby area and corridors used solely to provide access between the structure's principal street entrance and elevators, does not qualify as enclosed interior open space for the purposes of this subsection 23.48.650.B.7.
8.
All areas provided as open space under this Section 23.48.650 shall be accessible to persons with disabilities.
9.
Features provided under this subsection 23.48.650.B are eligible to qualify as amenity area for residential uses required by Section 23.48.045, provided the standards of that Section 23.48.045 are met.
10.
Features provided under this subsection 23.48.650.B that satisfy the requirements for open space amenities in Section 23.48.624 and Section 23.58A.040 are eligible for a floor area bonus to gain extra floor area according to the provisions of Section 23.48.622.
11.
Usable open space satisfying the requirements of this subsection 23.48.650.B may be provided on a site other than the project site, provided that the following conditions are met:
a.
The alternate open space site is located within an SM-U zone and within 500 feet of the project site;
b.
The minimum area of the usable open space at the alternate site is 4,500 square feet;
c.
The minimum size of the open space on an alternate site and the maximum distance from the project may be increased or decreased for a project if the Director determines, as a Type I decision, that such adjustments are reasonably necessary to provide for open space that will meet the additional need for open space caused by the project, enhance public access to the open space, and/or allow for a significant share of the required open space to also be accommodated on the project site.
d.
The owner of any lot on which off-site open space is provided to meet the requirements of this subsection 23.48.650.B shall execute and record an easement in a form acceptable to the Director assuring compliance with the requirements of this Section 23.48.650. The Director is authorized to accept such an easement, provided that the terms do not impose any costs or obligations on the City.
12.
Usable open space provided on a site other than the project site according to subsection 23.48.650.B.11 that satisfies the requirements for a neighborhood open space in Section 23.58A.040 is eligible for a floor area bonus to gain extra floor area according to the provisions of Section 23.48.622.
A.
Off street parking spaces and bicycle parking are required according to Section 23.54.015.
B.
Maximum parking limit for non-residential uses
1.
Except as provided in subsection 23.48.680.B.2, parking for non-residential uses is limited to one parking space per every 1,000 square feet of gross floor area in non-residential use.
2.
If on or before September 1, 2012, a lot is providing legal off-site parking for another lot, by means such as a recorded parking easement or off-site accessory parking covenant on the subject lot, then the number of such off-site parking spaces is allowed on the off-site lot in addition to one space per 1,000 square feet for non-residential uses on the subject lot.
(Ord. 125267, § 26, 2017.)
A.
Parking location within structures
1.
Except as provided in subsection 23.48.685.A.2, parking within structures, excluding driveway access and garage doors or openings, shall be located below the street-level story or separated from the street along all street frontages by another use. There is no limit on the number of stories of parking above the street-level story if the parking is separated along all street frontages of the structure by another use.
2.
On lots that are less than 24,000 square feet in size, or that are 103 feet in depth or less as measured from the lot line with the greatest street frontage, parking is permitted within structures above the street-level story as follows:
a.
One story of parking is permitted above the street-level story for every two stories of parking located below grade that, in combination, provide at least twice the capacity of the above grade story, up to a maximum of two stories of parking above the street-level story.
b.
Parking located on stories above the street-level story of a structure shall be separated from the street by other uses and screened as follows:
1)
A minimum of 30 percent of the length of the parking area measured along each street frontage shall be separated from the street by another use. For structures located at street intersections, the separation by another use shall be provided at the corner portion(s) of the structure.
2)
Any parking area that is not separated from the street by another use shall be enclosed by facades along all street frontages. Facades shall be designed to minimize the impacts of glare from vehicle headlights and interior garage lighting on pedestrian views from the street.
c.
The Director may permit more than two stories of parking above the street-level story of the structure, or waive the amount of parking required to be located below grade when parking is provided above the street-level story, or permit other exceptions to this subsection 23.48.685.A.2, as a Type I decision, if the Director finds that locating parking below grade is infeasible due to physical site conditions such as a high water table or proximity to a tunnel. In such cases, the Director shall determine the maximum feasible amount of parking that can be provided below grade, if any, and the amount of additional parking to be permitted above street level based on an assessment of the conditions that restrict an applicant from providing the parking below grade, such as the depth and dimensions of an underground tunnel. The rationale that a site is too small to accommodate parking below grade is not a basis for granting an exception under this subsection 23.48.685.A.2.c.
B.
Accessory surface parking shall be separated from all street lot lines by another use within a structure, except that driveway access need not be separated.
(Ord. 125267, § 26, 2017.)
A.
The Director may recommend that the Council approve a development agreement pursuant to chapter 36.70B RCW for real property that includes land zoned SM-U within the University Community Urban Center.
B.
The Director's recommendation shall be informed by an urban design framework that the Director has developed through a community involvement process.
C.
The proposed development agreement shall be for the development of real property that achieves one of more of the following key design and development objectives of the urban design framework:
1.
The addition of significant public open space in the neighborhood core near the proposed transit station;
2.
Better integration of new development with light rail transit facilities;
3.
Enhanced pedestrian circulation;
4.
Retention of key elements defining neighborhood character, including designated Landmark structures and other historic resources;
5.
Strengthening and revitalization of the historic pedestrian-oriented business district;
6.
Green storm water infrastructure exceeding requirements in Chapter 22.800;
7.
District heating and cooling;
8.
Improved urban form; and
9.
Increased diversity in building types, mix of activities, and the range of employment activities and household types accommodated in the area.
D.
Nothing in this Section 23.48.690 limits the Council's authority to enter into a development agreement authorized by chapter 36.70B RCW in situations other than those described in subsection 23.48.690.C.
(Ord. 125267, § 26, 2017.)
The provisions in Sections 23.48.702 through 23.48.785 of the SM-UP zones are in addition to and supplement the provisions of Sections 23.48.005 through 23.48.095. In cases of conflicts between these Sections 23.48.005 through 23.48.095, the provisions in the SM-UP zones apply.
(Ord. 125432, § 14, 2017.)
A.
When a development is proposed that is expected to generate 50 or more employee single-occupant vehicle (SOV) trips in any one p.m. hour, the applicant shall prepare and implement a Transportation Management Program (TMP) consistent with requirements for TMPs in any applicable Director's Rule.
1.
For purposes of measuring attainment of SOV goals contained in the TMP, the proportion of SOV trips shall be calculated for the p.m. hour in which an applicant expects the largest number of vehicle trips to be made by employees and students at the site (the p.m. peak hour of the generator). The proportion of SOV trips shall be calculated by dividing the total number of employees and students using an SOV to make a trip during the expected peak hour by the total number of employee and student person trips during the expected peak hour.
2.
Compliance with this section does not supplant the responsibility of any employer to comply with Seattle's Commute Trip Reduction (CTR) Ordinance.
B.
An applicant who proposes multifamily development that is expected to generate 50 or more vehicle trips in any one p.m. hour or demand for 25 or more vehicles parking on the street overnight shall prepare and implement a TMP. The TMP shall be consistent with requirements for TMPs in any applicable Director's Rule. For purposes of measuring attainment of the SOV goal, the proportion of SOV trips shall be calculated for the p.m. hour in which an applicant expects the largest number of vehicle trips to be made by residents of the site (the p.m. peak hour of the generator). The proportion of SOV trips shall be calculated by dividing the total number of residential trips made by SOV during the expected peak hour by the total number of residential person trips.
C.
Each owner subject to the requirements of this section shall prepare a TMP as described in rules promulgated by the Director, as part of the requirements for obtaining a master use permit.
D.
The TMP shall be approved by the Director if, after consulting with Seattle Department of Transportation, the Director determines that the TMP measures are likely to achieve the mode-share targets for trips made by travel modes other than driving alone for the Uptown Urban Center in 2035 that are contained in Seattle's Comprehensive Plan's Transportation Element.
(Ord. 125432, § 14, 2017.)
A.
General provisions. Except as otherwise specified in this subsection 23.48.720.A, FAR limits for SM-U zones are as shown in Table A for 23.48.720.
B.
Additional increment of floor area above the maximum FAR. On lots that include uses or features specified in this subsection 23.48.720.B, an additional amount of chargeable floor area is permitted above the maximum FAR as follows:
1.
For all SM-UP zones an additional amount of 1 FAR is permitted above the maximum FAR of the zone shown on Table A for 23.48.720 if a lot includes one or more structures that have been designated as landmarks pursuant to Chapter 25.12, subject to the following conditions:
a.
The structure is rehabilitated so that all features and characteristics are subject to controls and incentives designated pursuant to Chapter 25.12 and comply with any certificates of approval issued by the Landmarks Preservation Board, all as determined by the Director of the Department of Neighborhoods;
b.
A notice is recorded in the King County real estate records, in a form satisfactory to the Director, regarding the additional increment of floor area allowed and the effect thereof under the terms of this Chapter 23.48;
c.
A Landmark structure that obtains additional FAR under this subsection 23.48.720.B.1 may not be a sending site for Landmark transferable development rights (TDR) or for transferable development rights (TDP);
d.
If the increased amount of FAR allowed under this subsection 23.48.720.B.1 remains on the lot, the structure must remain designated as a Landmark; and
e.
The owner shall maintain the exterior and interior of the Landmark structure in good condition in a manner that preserves the Landmark features and characteristics of the structure.
2.
For SM-UP zones, an additional increment of up to 1 FAR is permitted above the maximum FAR limit of the zone if a lot includes an arts facility operated by a for-profit or not-for-profit operator, subject to the following conditions:
a.
The amount of the additional increment of FAR shall not exceed floor area of the arts facility.
b.
The minimum floor area provided for a qualifying arts facility is 2,500 square feet.
c.
The space shall be occupied by an arts facility for the life of the project on the lot. If the property owner is unable to secure a for-profit or not-for-profit organization to operate the arts facility, after a six-month period, if the space remains unoccupied, it may be used for other non-profit purposes such as a community and/or public area, under the following conditions:
1)
The space shall be made available to community and charitable organizations and is not to be used for profit-making activities;
2)
The space shall be made available for both day and evening use;
3)
The space shall be made available on a first-come, first-served basis to community and charitable organizations; and
4)
Availability of the space and contact person(s) shall be made known to community and charitable groups through means such as newspaper articles, radio announcements, and flyers.
d.
No permit after the first building permit, no permit for any construction activity other than excavation and shoring, and no permit for occupancy of existing floor area by any use shall be issued for development that includes an arts facility to gain the increase in FAR until the applicant has demonstrated to the satisfaction of the Director that a lease with a for-profit or not-for-profit arts organization has been secured to occupy the space for a minimum of one year.
3.
For SM-UP zones, an additional increment of up to 1 FAR is permitted above the maximum FAR limit of the zone if a lot includes a preschool, an elementary school, or a secondary school, subject to the following conditions:
a.
Prior to issuance of a Master Use Permit, the applicant shall submit a letter to the Director from the school indicating that, based on the Master Use Permit plans, the school district has determined that the development could meet the operator's specifications;
b.
Prior to issuance of a building permit, the applicant shall submit a written certification by the operator to the Director that the operator's specifications have been met; and
c.
Should the school use be discontinued and replaced by commercial use, the commercial use shall be considered development to which Chapter 23.58B applies, notwithstanding any contrary provision of subsection 23.58B.020.B.
4.
For all SM-UP zones, an additional increment of up to 1.0 FAR is permitted above the maximum FAR of the zone for a lot that includes residential dwelling units that comply with all of the following conditions:
a.
Unit number and size. The structure includes a minimum of ten dwelling units that each have a minimum area of 900 gross square feet and include three or more bedrooms; and
b.
Amenity area. Each dwelling unit shall have access to an outdoor amenity area that is located on the same story as the dwelling unit and meets the following standards:
1)
The amenity area has a minimum area of 1300 square feet and a minimum horizontal dimension of 20 feet; and
2)
The amenity area must be common amenity area, except that up to 40 percent of the amenity area may be private provided that the private and common amenity area are contiguous and are not separated by barriers more than 4 feet in height; and the private amenity areas are directly accessible from units meeting these requirements; and
3)
The common amenity area includes children's play equipment; and
4)
The common amenity area is located at or below a height of 85 feet.
C.
Floor area exempt from FAR. In addition to floor area that is exempt from FAR limits according to subsection 23.48.020.B, the following floor area is exempt from FAR limits:
1.
The floor area contained in a Landmark structure if the owner of the Landmark has executed and recorded an agreement acceptable in form and content to the Landmarks Preservation Board providing for the rehabilitation of the structure. This exemption does not apply to a lot from which a Landmark TDR or TDP has been transferred under Chapter 23.58A and does not apply for purposes of determining TDR or TDP available for transfer under Chapter 23.58A;
2.
All gross floor area in a child care center, an elementary school, or a secondary school;
3.
Floor area used for theaters or arts facilities, which for the purposes of this Section 23.48.720 may be operated either by for-profit or not-for-profit organizations;
4.
Floor area of street-level uses identified in subsection 23.48.005.D, whether required or not, that meet the development standards of subsection 23.48.040.C; and
5.
Floor area in a vulnerable masonry structure that is included on a list of structures that meet specified criteria in a rule promulgated by the Director under Section 23.48.627, provided that the structure is retained for a minimum of 50 years according to the provisions that apply to a qualifying vulnerable masonry structure TDR or TDP sending site in subsection 23.58A.042.F.3.
(Ord. 127099, § 28, 2024; Ord. 126685, § 32, 2022; Ord. 126157, § 33, 2020; Ord. 126131, § 11, 2020; Ord. 125432, § 14, 2017.)
A.
Means to achieve extra floor area above the base FAR
1.
General. The proposed development project shall:
a.
Achieve 65 percent of the extra floor area on the lot by using bonus residential floor area for affordable housing pursuant to Section 23.58A.014 or bonus non-residential floor area for affordable housing and child care pursuant to Section 23.58A.024; and
b.
Achieve 35 percent of the extra floor area through the use of one or more of the following options:
1)
Acquiring open space, Landmark, or vulnerable masonry structure TDR or TDP according to Sections 23.48.723 and 23.58A.042; or
2)
Providing open space amenities according to Sections 23.48.724 and 23.58A.040.
2.
Extra floor area in mixed-use projects. In a project that exceeds the base FAR, or exceeds the increment of additional chargeable floor area allowed above the base FAR under subsection 23.48.720.B, and that includes both residential and non-residential uses, the amount of extra residential floor area and extra non-residential floor area to be obtained is calculated as follows:
a.
Relative to the total chargeable gross floor area of all uses in the project, determine the percentage that is in residential use and the percentage that is in non-residential use.
b.
Determine the total amount of extra floor area in the project above the base FAR, or above the increment of additional chargeable floor area allowed above the base FAR under subsection 23.48.720.B, and, using the percentages derived in subsection 23.48.722.A.1, divide this total amount to determine the share of extra floor area that is to be obtained as extra residential floor area and the share that is to be obtained as extra non-residential floor area according to the applicable provisions of the zone.
B.
Minimum requirements. Development containing any extra floor area in the SM-UP 160 zone shall meet the minimum requirements for extra floor area in subsection 23.48.021.D.
A.
General standards
1.
The transfer of development rights (TDR) may be used to gain extra non-residential floor area on a receiving site, and the transfer of development potential (TDP) may be used to gain extra residential floor area in a project on a receiving site.
2.
The following types of TDR and TDP may be transferred within the Uptown Urban Center, subject to the limits and conditions of this Chapter 23.48 and the standards for the use of TDR and TDP in Section 23.58A.042:
a.
Landmark TDR and TDP;
b.
Open space TDR and TDP; and
c.
Vulnerable masonry structure TDR and TDP.
B.
Sending sites. Only sites within the Uptown Urban Center in the MR, LR3, or SM-UP zones are eligible sending sites. These sites must meet the definition of an open space, vulnerable masonry structure, or Landmark TDR or TDP sending site in Chapter 23.84A, and must comply with all applicable standards in this Chapter 23.48 and Section 23.58A.042.
C.
Receiving sites. Only sites in the SM-UP 160 zone are eligible receiving sites.
D.
Except as provided in subsection 23.47A.009.E.2.b, the maximum amount of floor area transferred by TDR and TDP from an eligible sending site may not exceed the maximum FAR of the zone in which the sending site is located, minus the sum of any chargeable floor area on the lot and any TDR and TDP previously transferred from the sending site.
(Ord. 125432, § 14, 2017.)
A.
In the SM-UP 160 zone, extra floor area may be gained above the base FAR specified for the zone in Section 23.48.720 in projects that provide open space amenities in accordance with Section 23.58A.040 and subject to the limits and conditions of Section 23.48.722 and this Section 23.48.724.
B.
Projects that include the following open space amenities are eligible for extra floor area as specified in Section 23.48.722:
1.
Green street improvements on designated Neighborhood Green Streets shown on Map A for 23.48.740;
2.
Green street setbacks on lots abutting a designated Neighborhood Green Street shown on Map A for 23.48.740;
3.
Mid-block corridor; and
4.
Neighborhood open space.
C.
To be eligible for a floor area bonus, open space amenities shall comply with the applicable development standards and conditions specified in Section 23.58A.040, except that for a mid-block corridor the provisions of subsection 23.48.740.C.2 apply in addition to the conditions of Section 23.58A.040.
A.
The Director shall promulgate a rule identifying structures that meet the following eligibility criteria as a vulnerable masonry structure TDR or TDP sending site under subsection 23.58A.042.F and that, as a vulnerable masonry structure, are exempt from the calculations for chargeable FAR under subsection 23.48.720.C.5:
1.
The structure has unreinforced masonry bearing walls and is included in the list of unreinforced masonry structures identified by the Department in April 2016, with a classification of Critical Risk (C), High Risk (H), or Medium Risk (M).
2.
The structure has been seismically retrofitted to comply with rules and regulations applicable to seismic retrofitting of vulnerable masonry structures.
B.
The Director shall periodically update the list to respond to changed conditions and remove or add structures to the list to maintain consistency with the criteria specified in subsection 23.48.730.A.
(Ord. 125432, § 14, 2017.)
A.
The maximum width and depth of a structure is 250 feet, except as provided in this Section 23.48.732. The width and depth limits do not apply to below-grade or partially below-grade stories having street-facing facades that do not extend more than 4 feet above the sidewalk, measured at any point above the sidewalk elevation to the floor above the partially below-grade story, other than locations of access to the building.
B.
For the stories of a structure subject to width and depth limits, all portions of the same story that are horizontally contiguous, including any portions connected by doorways, ramps, bridges, elevated stairways, and similar connections, are included in the measurement of width and depth. The width and depth limits of stories in separate structures or structures on the same lot that abut but are not internally connected are measured separately. Designated Landmark structures and structures that qualify as vulnerable masonry buildings according to Section 23.48.730 are exempt from the width and depth limits, whether internally connected to a new structure or not.
C.
Width and depth limits do not apply to stories of a structure having more than 50 percent of the total gross floor area of the story occupied by any of the following uses:
1.
Community clubs or community centers;
2.
Religious facilities;
3.
Arts facilities operated by a non-profit or for-profit organization or organizations;
4.
Elementary or secondary schools;
5.
Performing arts theaters; or
6.
Child care centers.
D.
Width and depth limits do not apply to any portion of a structure that is 55 feet or less in height and located on a lot that includes a light rail transit station.
A.
In all SM-UP zones, any portion of a structure greater than 45 feet in height or 65 feet in height must be set back from a lot line that abuts a designated street shown on Map A for 23.48.735. A setback of an average of 10 feet from the lot line is required for any portion of a structure exceeding the maximum height that is permitted without a setback.
Map A for 23.48.735
Upper-level setbacks
B.
Projections permitted in required upper-level setbacks. Horizontal projections, including decks, balconies with open railings, eaves, cornices, and gutters are permitted to extend a maximum of 4 feet into required setbacks as shown in Exhibit A for 23.48.735.
Exhibit A for 23.48.735
Horizontal projection into upper-level setbacks
Street-level development standards in Section 23.48.040 apply to all streets in the SM-UP zones. In addition, the following requirements apply:
A.
Street-level facade requirements; setbacks from street lot lines
Street-facing facades of a structure shall be built to the lot line except as follows:
1.
The street-facing facades of structures abutting Class 1 Pedestrian Streets, as shown on Map A for 23.48.740, shall be built to the street lot line for a minimum of 70 percent of the facade length, provided that the street frontage of any required outdoor amenity area, other required open space, or usable open space provided in accordance with subsections 23.48.740.B and 23.48.740.C is excluded from the total amount of frontage required to be built to the street lot line.
2.
If a building in the Uptown Urban Center faces both a Class 1 Pedestrian Street and a Class 2 Pedestrian Street a new structure is only required to provide a primary building entrance on the Class 1 Pedestrian Street.
Map A for 23.48.740
Pedestrian street classifications in Uptown
Exhibit A for 23.48.740
Percentage of facade at lot line
3.
For streets designated as Class II and Class III Pedestrian Streets and Green Streets as shown on Map A for 23.48.740, and as specified in subsection 23.48.740.B.1, the street-facing facade of a structure may be set back up to 12 feet from the street lot line subject to the following (as shown on Exhibit B for 23.48.740):
a.
The setback area shall be landscaped according to the provisions of subsection 23.48.055.A.3;
b.
Additional setbacks are permitted for up to 30 percent of the length of portions of the street-facing facade that are set back from the street lot line, provided that the additional setback is located 20 feet or more from any street corner; and
c.
Any required outdoor amenity area, other required open space, or usable open space provided in accordance with subsection 23.48.740.B is not considered part of the setback area and may extend beyond the limit on setbacks from the street lot line that would otherwise apply under subsection 23.48.740.B.
Exhibit B for 23.48.740
Street-level setbacks
B.
Required usable open space in the SM-UP 65, SM-UP 85, and SM-UP 160 zones
1.
In the SM-UP 65, SM-UP 85, and SM-UP 160 zones, on lots exceeding 30,000 square feet in area, proposed development shall provide usable open space as follows:
a.
The minimum amount of required usable open space shall be equal to 15 percent of the lot area and shall generally be accessible at street level, with variations in elevation allowed to accommodate changes in topography;
b.
The average horizontal dimension for any area qualifying as required usable open space is 20 feet, and the minimum horizontal dimension is 10 feet, except that there is no minimum horizontal dimension for additional pedestrian area abutting a sidewalk that is provided according to subsection 23.48.740.B.1.c;
c.
A minimum of 45 percent of the required usable open space shall be exterior space open to the sky and shall abut a street along at least one street frontage and provide both visual and physical access from the street lot line to pedestrians, including persons with disabilities;
d.
Up to a maximum of 20 percent of the required usable open space may be covered, if the open space abuts a street lot line and is open and accessible to pedestrians along the sidewalk;
e.
Up to a maximum of 35 percent of the required usable open space may be provided as enclosed space, such as atrium, a shopping atrium, wintergarden, or covered portion of a through-block pedestrian connection, if the enclosed open space meets all of the following requirements:
1)
Direct access is provided to pedestrians, including persons with disabilities, from the street, or from an outdoor, usable open space abutting the street;
2)
The space is provided as one continuous area that is a minimum of 2,000 square feet in size. Space, such as lobby area, that is used solely to provide access between the structure's principal street entrance and elevators, does not qualify as required usable open space;
3)
The minimum floor-to-ceiling height is 15 feet;
4)
The space is accessible to the public during normal business hours; and
f.
Up to a maximum of ten percent of the required usable open space may be provided as an area abutting a sidewalk that extends the pedestrian area onto the lot or accommodates landscaping or extensions of right-of-way green factor treatment. Minor changes between the sidewalk elevation and the elevation of the abutting sidewalk area are permitted to accommodate changes in topography, or to provide for features such as ramps that improve access for persons with disabilities.
2.
Usable open space provided under this subsection 23.48.740.B is eligible to qualify as either amenity area for residential uses under Section 23.48.045 or open space required for office use under Section 23.48.750, or both, provided the applicable standards of Sections 23.48.045 and 23.48.750 are met.
C.
Through-block pedestrian connections for large lot developments
1.
A through-block pedestrian connection meeting the standards of subsection 23.48.740.C.2 is required in the SM-UP 65, SM-UP 85, and SM-UP 160 zones for development described as follows:
a.
The development is located on a lot having a minimum lot area of 40,000 square feet; and
b.
The lot abuts the two north/south avenues for a minimum linear distance of 120 feet along each avenue.
2.
The required through-block pedestrian connection shall meet the following development standards:
a.
A continuous pedestrian passageway shall extend across the lot to connect either two streets or avenues whichever the development abuts. If the development site abuts two avenues and two streets, the passageway shall connect the rights of way that have the greater length. The alignment of the passageway and the point at which it intersects each avenue shall be no closer than 100 feet to a street intersection, and the connection of the passageway to abutting sidewalks shall be accessible at the grade level of the sidewalk.
b.
The required pedestrian connection shall have an average width of 25 feet and a minimum width of 15 feet. Any segment of the pedestrian passage that is covered by an overhead covering from side to side shall have a minimum width of 20 feet.
c.
The pedestrian passageway shall be open to the sky, except that up to 35 percent of the length of the passageway may be covered and enclosed, provided the minimum height of covered portions is 13 feet. Unenclosed area of the passageway may be counted as required open space; and
d.
If the passageway crosses an alley, the alley right-of-way shall be improved to ensure pedestrian safety and to reinforce the relationship between portions of the passageway on either side of the alley.
3.
The Director may allow modifications or waiver from the standards for though-block pedestrian connections as a Type I decision, if the Director determines that alternative designs will better serve the development by enhancing pedestrian comfort and promoting greater use of the connection.
(Ord. 127198, § 7, 2025; Ord. 126157, § 35, 2020; Ord. 125432, § 14, 2017.)
Structures in the SM-UP 160 zone that exceed a height of 125 feet are subject to the upper-level development standards in this Section 23.48.745.
A.
Upper-level floor area limit. For towers, the average gross floor area of all stories above the podium height shall not exceed 50 percent of the lot area.
B.
Floor area limits. For structures that exceed 125 feet in height, the maximum floor area is 12,500 square feet for each floor located above 45 feet.
C.
Podium standards. The following standards for podiums apply only to structures or portions of structures that include a tower that is subject to a floor area limit.
1.
The height limit for podiums is 45 feet.
2.
Podium floor area limits. The average gross floor area of all the stories below the podium height specified in subsection 23.48.745.C.1 shall not exceed 75 percent of the lot area used for upper-level development standards for a tower, except that the podium floor area is not limited if the total number of stories below the podium height is three or fewer stories.
D.
Facade modulation. For all structures exceeding 95 feet in height, facade modulation is required for the street-facing facade of a structure located within 15 feet of a street lot line and exceeding the podium height specified for the lot in subsection 23.48.745.C. No modulation is required for portions of a facade set back 15 feet or more from a street lot line or below the podium height.
1.
The maximum length of a facade without modulation is shown in Table A for 23.48.745. This maximum length shall be measured parallel to each street lot line and shall apply to any portion of a facade, including projections such as balconies, that is located within 15 feet of street lot lines.
2.
If a portion of a facade that is within 15 feet of the street lot line is the maximum length permitted for an unmodulated facade, the facade must be modulated at a minimum depth of 15 feet measured from the street lot line for a minimum length of 40 feet. If the required setback is provided, additional portions of the facade may be located within 15 feet of the street lot line.
E.
Limit on the number of tower structures per block
1.
Only one tower structure is permitted on a single block, which limit includes any existing tower structure.
2.
For purposes of this subsection 23.48.745.E an existing tower is either:
a.
A tower that is physically present; or
b.
A proposed tower for which notice of a Master Use Permit decision has been published, unless and until either:
1)
The Master Use Permit issued pursuant to such a decision expires or is cancelled, without the tower having been constructed; or
2)
A decision is made by a hearing examiner or court reversing or vacating the Master Use Permit and the decision is final and no longer subject to judicial review.
(Ord. 125432, § 14, 2017.)
A.
Quantity of open space. Open space in the amount of 20 square feet for each 1,000 square feet of gross floor area in office use is required for the following projects:
1.
The project is on a lot located in an SM-UP zone that has a height limit that exceeds 95 feet; and
2.
The project includes 85,000 or more square feet of gross floor area in office use.
B.
Standards for open space. Open space may be provided on-site or on an adjacent lot, as follows:
1.
On-site open space and open space on an adjacent lot
a.
Open space on site or on an adjacent lot directly accessible from the project site shall satisfy the requirement of this Section 23.48.750 if it meets the standards of subsection 23.48.740.B and the open space is accessible to all occupants of the building.
b.
Open space provided on-site under this requirement is eligible for amenity feature bonuses, where allowed in Section 23.48.021 when the following standards are met:
1)
The space has a minimum horizontal dimension of 20 feet; and
2)
The space is directly accessible to pedestrians, including persons with disabilities, from the street, or from an outdoor usable open space abutting the street; and
3)
The space is available for use during normal business hours; and
4)
Enclosed areas providing the connection between the structure's primary pedestrian access to the street and elevator cores, such as lobby space, do not qualify as required open space.
2.
Off-site public open space
a.
Open space satisfying the requirement of this Section 23.48.750 may be on a site other than the project site, provided that it is within an SM-UP zone, within one-quarter mile of the project site, open to the public without charge, and at least 3,000 square feet in contiguous area. The minimum size of off-site open space and maximum distance from the project may be increased or decreased for a project if the Director determines that such adjustments are reasonably necessary to provide for open space that will meet the additional need for open space caused by the project and enhance public access to the open space.
b.
Open space that is open to the public and provided on a site other than the project site may qualify for a development bonus for the project if the open space meets the standards of Section 23.49.013.
3.
Easement for off-site open space. The owner of any lot on which off-site open space is provided to meet the requirements of this Section 23.48.750 shall execute and record an easement in a form acceptable to the Director assuring compliance with the requirements of this Section 23.48.750.
4.
Open space provided under this Section 23.48.750 shall qualify as the open space required under subsection 23.48.740.B and Section 23.48.750 if it is located within 1/4 mile of the project site.
C.
Limitations. Open space satisfying the requirement of this Section 23.48.750 for any project shall not be used to satisfy the open space requirement for any other project, nor shall any bonus be granted to any project for open space meeting the requirement of this Section 23.48.750 for any other project. When a transmitting antenna is sited or proposed to be sited on a rooftop where required open space is located, the transmitting antenna is subject to the development standards of Section 23.57.013.
(Ord. 125432, § 14, 2017.)
A.
Parking in structures. Except as provided for by subsection 23.48.085.B, parking located above street level in a garage shall be screened on Class 1, Class 2, and Class 3 Pedestrian Streets, as shown on Map A for 23.48.740.
B.
Parking is not permitted at street level unless it is screened from the street by other uses.
(Ord. 125432, § 14, 2017.)
A.
Parking at street level within structures. Parking in the Uptown Urban Center is permitted in a story that is partially above street level and partially below street level if the structure is permitted in a setback area under the provisions of subsection 23.48.740.B.2.b.
B.
Maximum parking limit for office uses. Parking for office uses is limited to one parking space per every 1,000 square feet of gross floor area in office use.
(Ord. 125432, § 14, 2017.)
A.
Parking above the street level of a structure. The following provisions of this Section 23.48.785 apply to development in the SM-UP 65, SM-UP 85, SM-UP 95, and SM-UP 160 zones. Except as provided in Section 23.48.780 for parking partially above street level and partially below street level, parking within structures is permitted above the street level under the following conditions:
1.
No more than 50 percent of all parking may be located above grade; and
2.
For parking located on a story above the first story of a structure, a minimum of 30 percent of the length of the parking area measured along each street frontage shall be screened from the street by another use. On lots located at street intersections, the screening of parking area by another use shall be provided at the corner portion(s) of the structure; and
3.
The parking area on a story above the first story of the structure that is not screened from the street by another use shall be enclosed by facades along all street frontages. Facades shall be designed to minimize the impacts of glare from vehicle headlights and interior garage lighting on pedestrian views from the street.
B.
In the SM-UP 65, SM-UP 85, and the SM-UP 160 zones in the Uptown Urban Center, accessory surface parking is prohibited unless separated from all street lot lines by another use within a structure.
(Ord. 125432, § 14, 2017.)
The provisions in this Subchapter VII establish regulations for SM-NG zones. The SM-NG zone designation refers to all zones in the SM category in the Northgate Urban Center. The provisions in this Subchapter VII supplement the provisions of Subchapter I of Chapter 23.48. In cases of conflicts between the provisions in Subchapter I of Chapter 23.48 and this Subchapter VII, the provisions in this Subchapter VII apply.
(Ord. 125792, § 7, 2019)
A.
Prohibited uses
1.
Sales and service, automotive;
2.
Sales and service, heavy;
3.
Sales and service, marine;
4.
Drive-in business;
5.
Dry boat storage;
6.
Warehouse;
7.
Mini-warehouse;
8.
Towing services;
9.
Salvage yard;
10.
Principal use parking except for park and ride lots per subsection 23.48.805.B; and
11.
Any single general sales and service use greater than 50,000 gross square feet.
B.
Exceptions to prohibited uses
1.
Park and ride lots may be provided as a permitted use within a parking garage that contains accessory parking for other uses if the park-and-ride facility is subject to a joint use parking agreement with a transit agency.
2.
Park-and-ride lots may be provided as an administrative conditional use in a stand-alone parking garage.
C.
Required street-level uses
1.
One or more of the following uses are required at street level along the street-facing facades and facades facing the mid-block corridor that are shown on Map A for 23.48.805:
a.
General sales and service uses;
b.
Eating and drinking establishments;
c.
Entertainment uses;
d.
Public libraries;
e.
Public parks;
f.
Arts facilities;
g.
Religious facilities;
h.
Human services uses;
i.
Child care facilities;
j.
Light rail transit stations; and
k.
Residential uses provided each unit on the facade abutting the street or mid-block crossing has an individual entry.
2.
Standards for required street-level uses. Required street-level uses shall meet the development standards in subsection 23.48.040.C.
Map A for 23.48.805
Locations of street-level use requirements
(Ord. 125792, § 7, 2019)
A.
Floor area ratio (FAR) limits. The FAR limit is 7 in SM-NG 240 and SM-NG 145 zones.
B.
Floor area exempt from FAR limits. In addition to the exempt floor area identified in subsection 23.48.020.B, the following gross floor area is exempt from FAR limits:
1.
Light rail transit station and related passenger amenities
2.
School, elementary or secondary
3.
School, vocational or fine arts
4.
Human service use
5.
Up to 25,000 square feet of a community club or center that is open to the public for a minimum of six hours a day, five days a week, and 42 weeks per year;
6.
Floor area used for a performing arts theater, lecture and meeting hall, or arts facility, any of which for the purposes of this Section 23.48.820 may be operated either by for-profit or not-for-profit organizations.
7.
On a lot containing a peat settlement-prone environmentally critical area, above-grade parking within or covered by a structure or portion of a structure if the Director finds that locating a story of parking below grade is infeasible due to physical site conditions such as a high-water table, if either:
a.
The above-grade parking extends no more than 6 feet above existing or finished grade and no more than 3 feet above the highest existing or finished grade along the structure footprint, whichever is lower, as measured to the finished floor level or roof above, pursuant to subsection 23.48.815.C; or
b.
All of the following conditions are met:
1)
No above-grade parking is exempted by subsection 23.48.820.B.7.a;
2)
The parking is accessory to a residential use on the lot; and
3)
The amount of gross floor area exempted by this subsection 23.48.820.B.7 does not exceed 50 percent of the area of the lot.
C.
Minimum FAR. The minimum FAR provisions of subsection 23.48.020.C do not apply in SM-NG zones.
(Ord. 125792, § 7, 2019)
A.
Height limits
1.
The height limits in SM-NG zones are as designated on the Official Land Use Map, Chapter 23.32, shown as the number following the zone designation.
2.
A minimum lot size of 15,000 square feet is required for a structure to exceed 85 feet in height except for stair or elevator penthouses and enclosed mechanical equipment.
B.
Provisions for rooftop features allowed above the height limit are in subsection 23.48.025.C.
(Ord. 125792, § 7, 2019)
A.
Lots located on the same block in the SM-NG 240 zone may be combined, whether contiguous or not, solely for the purpose of allowing some or all of the capacity for chargeable floor area on one or more such lots under this Chapter 23.48 to be used on one or more other lots, according to the provisions of this Section 23.48.827.
B.
Within the combined lot, the permitted chargeable floor area from one lot, referred to in this Section 23.48.827 as the "reduced lot," may be allowed on one or more other lots on the same block, referred to in this Section 23.48.827 as the "increased lot(s)."
1.
The maximum total floor area within the combined lot(s) is calculated by multiplying the allowed FAR limit by the total area of all lots in the combined lot.
2.
Total chargeable floor area developed within the combined lot on the reduced lot(s) and increased lots(s) together, shall not exceed the total allowed floor area of the combined lot.
C.
The fee owners of each lot within the combined lot shall execute an agreement or instrument, which shall include the legal descriptions of each lot and shall be recorded in the King County Recorder's Office. In the agreement or instrument, the owners shall acknowledge the extent to which development capacity on the reduced lot shall be reduced by the use of chargeable floor area on the increased lot. The agreement or instrument shall also provide that such standards and conditions in this Section 23.48.827 shall covenant and run with the land and shall be specifically enforceable by the parties and by The City of Seattle.
D.
Development on any lot in a combined lot development shall not exceed or deviate from any other development standard as applied to the individual lots.
(Ord. 125792, § 7, 2019)
A.
The maximum width and depth of a structure or portion of a structure for which a separate calculation is required under subsection 23.48.835.B is 250 feet, except as otherwise provided in subsection 23.48.835.B.
B.
For purposes of this Section 23.48.835, the width and depth limits shall be calculated separately for a portion of a structure if:
1.
There are no connections allowing direct access, such as hallways, bridges, or elevated stairways, between that portion of a structure and other portions of a structure; or
2.
The only connections between that portion of a structure and other portions of a structure are in stories, or portions of a story, that are underground or extend no more than 4 feet above the sidewalk, measured at any point above the sidewalk elevation to the floor above the partially below-grade story, excluding access.
(Ord. 125792, § 7, 2019)
A.
Required setbacks in SM-NG zones. In all SM-NG zones, a setback is required from specified street lot lines as shown on Table A for 23.48.840, subject to the following:
1.
Any setback area further than 15 feet from the street lot line shall not be included in the averaging calculation.
2.
The setback area shall either be part of open space, sidewalk area, or landscaped according to standards in subsection 23.48.055.A.3.
3.
Underground structures are permitted in all required setback areas.
4.
Bay windows, canopies, horizontal projection of decks, balconies with open railings, eaves, cornices, gutters, and other similar architectural features that are at least 13 feet above the sidewalk elevation are permitted to extend up to 4 feet into the required setback.
B.
Facade requirements for street-level residential units and live-work units. In addition to the requirements of subsection 23.48.840.A, the street-facing facades of street-level residential uses and live-work units are subject to the following requirements in all SM-NG zones:
1.
There shall be a minimum setback of 5 feet from the street lot line.
2.
One or more of the following shall be located in the required setback area:
a.
Landscaped area;
b.
Private or common open space or amenity area; and
c.
Unenclosed stoops, steps, decks, or porches related to the abutting residential or live-work units.
3.
If residential units or live-work units have individual unit entries, the floor level of individual unit entries must be between 18 inches and 48 inches above finished grade.
4.
Bay windows, canopies, horizontal projection of decks, balconies with open railings, eaves, cornices, gutters, and other similar architectural features are permitted to extend up to 3 feet into the required setback.
C.
Overhead weather protection
1.
Continuous overhead weather protection, provided by such features as canopies, awnings, marquees, and arcades, is required along at least 60 percent of the street frontage of a structure, and along at least 75 percent of a structure fronting onto the required mid-block corridor identified in Section 23.48.841, except that any portions of the frontage occupied by residential dwelling units with individual entries shall not be subject to this requirement.
2.
The covered area shall extend a minimum of 6 feet from the structure, unless otherwise provided in this subsection 23.48.840.C, and unless there is a conflict with existing or proposed street trees or utility poles, in which case the Director may adjust the width to accommodate such features as provided for in subsection 23.48.840.C.6.
3.
The overhead weather protection must be provided over the sidewalk, or over a walking area within 10 feet immediately adjacent to the sidewalk. When provided adjacent to the sidewalk, the covered walking area must be within 18 inches of sidewalk grade and meet Washington State requirements for barrier-free access.
4.
For overhead weather protection extending 6 feet or less from the structure, the lower edge of the overhead weather protection shall be a minimum of 8 feet and a maximum of 13 feet above the sidewalk or covered walking area. For weather protection extending more than 6 feet from the structure, the lower edge of the weather protection shall be a minimum of 10 feet and a maximum of 18 feet above the sidewalk or covered walking area.
5.
Lighting for pedestrians shall be provided. The lighting may be located on the facade of the building or on the overhead weather protection.
6.
Where the standards listed in this subsection 23.48.840.C conflict with the vertical and horizontal clearance requirements in the street right-of-way, the standards may be modified by the Director as a Type I decision in consultation with the Director of Transportation.
Map A for 23.48.840
Street classifications and mid-block corridor
(Ord. 125792, § 7, 2019)
A.
A mid-block corridor meeting the standards of this Section 23.48.841 shall be provided as a part of any development including one or more structures containing more than a total of 10,000 square feet of gross floor area on any lot in the SM-NG 240 zone that is more than 100 feet to the south of the NE 103rd Street right-of-way and more than 100 feet north of the NE 100th Street right-of-way, as indicated on Map A for 23.48.840.
B.
The alignment of the mid-block corridor shall be no closer than 100 feet to Northeast 103rd Street or Northeast 100th Street.
C.
Prior to any development or modification of lot boundaries in the area that is more than 100 feet to the south of the NE 103rd Street right-of-way and more than 100 feet to the north of the NE 100th Street right-of-way, the area for the mid-block corridor shall be identified in an agreement recorded by the King County Recorder's Office and the applicant for the development or modification shall demonstrate that the development or modification would not preclude completion of a continuous mid-block corridor.
D.
Development on any site abutting the mid-block corridor shall provide improvements to create the mid-block corridor that meet the following standards, for the extent of the east to west dimension of the development site:
1.
The mid-block corridor shall provide for a continuous corridor that extends from 3rd Avenue Northeast to the Northgate Light Rail Station and all segments of the corridor shall be physically and visually connected.
2.
The minimum width of the mid-block corridor is 40 feet.
3.
The mid-block corridor shall contain a continuous, unobstructed pedestrian pathway that is a minimum of 10 feet wide and provides access for persons with disabilities throughout the entire corridor.
4.
If development is proposed on a site adjacent to a completed portion of the mid-block corridor, the development shall configure and align its portion of the mid-block corridor to form a contiguous corridor and pedestrian pathway.
5.
The end of the mid-block corridor at 3rd Avenue Northeast shall be accessible to pedestrians at grade level from the sidewalk.
6.
The mid-block corridor shall be open to the sky, except that overhead weather protection may be allowed on up to 40 percent of the area of the mid-block corridor including required overhead weather protection.
7.
If the mid-block corridor crosses an alley or a public or private street, the alley or public or private street right-of-way shall be improved to provide pedestrian safety and reinforce the connection between portions of the mid-block corridor on either side of the alley or public or private street.
8.
The mid-block corridor shall be improved with a surface and necessary drainage so as to be suitable for pedestrian use in all seasons.
9.
The mid-block corridor shall include lighting for pedestrian safety during nighttime hours when the corridor is available for public access pursuant to subsection 23.48.841.E.
10.
Design of the mid-block corridor shall include various features such as seating, landscaping, and artistic elements that will enhance public use of the corridor and increase activity and user comfort. The design of the corridor shall maintain the overall open character of a public outdoor space while being well integrated with the surrounding structures.
E.
Public access
1.
The required mid-block corridor shall be open to the public during all hours that light rail transit is operating at the Northgate light rail station.
2.
For any property within the corridor, property owners, tenants, and their agents shall allow individuals to engage in activities allowed in public places of a similar nature. Free speech activities such as hand billing, signature gathering and holding signs, all without obstructing access to the corridor, or adjacent buildings or features, and without unreasonably interfering with the enjoyment of the space by others, shall be allowed.
3.
Plaque requirement. A plaque indicating the nature of the corridor and its availability for general public access must be placed in a visible location at the entrances to the corridor.
4.
The mid-block corridor must be subject to a recorded document acceptable to the Director that ensures general public access and the preservation and maintenance of the corridor.
F.
The Director may allow modifications from the standards for the mid-block corridor in subsection 23.48.841.D as a Type I decision if the applicant demonstrates that alternative treatments will better serve the public by enhancing pedestrian comfort, integrating the feature as part of the surrounding pedestrian network, and/or promoting greater use of the connection.
G.
The mid-block corridor provided under this Section 23.48.841 is eligible to qualify as amenity area for residential uses under Section 23.48.045, and required usable open space under Section 23.48.852, as long as the applicable standards of Section 23.48.045 and Section 23.48.852 are met.
(Ord. 125792, § 7, 2019)
The following standards apply to structures in which any portion of the structure exceeds a height of 85 feet, not including stair or elevator penthouses and enclosed mechanical equipment.
A.
Podiums. The height limit for podiums is 45 feet as measured from the elevation at the street lot line.
B.
Towers. A tower is any portion of the structure that exceeds the podium height limit and extends vertically to exceed a height of 85 feet not including stair or elevator penthouses and enclosed mechanical equipment. Portions of the structure that exceed the podium height limit and are not attached to a portion of the structure that extends vertically above a height of 85 feet are not towers. More than one tower may be located on a single podium in the same structure provided separation requirements and tower floor area limits are met.
C.
Tower floor area limits. In SM-NG zones towers are subject to the floor area limits shown in Table A for 23.48.845. The floor area limit applies to contiguous floors within each tower above the podium height limit, excluding stair and elevator penthouses and enclosed mechanical equipment.
D.
Upper-level setbacks. The following upper-level setbacks are required.
1.
An upper-level setback of 15 feet is required for towers above the podium height limit from all street lot lines and a required mid-block corridor.
2.
An average upper-level setback of 10 feet is required from all street lot lines for any portion of a structure that exceeds 65 feet in height. The maximum depth of a setback that can be used for calculating the average is 15 feet.
3.
An average upper-level setback of 10 feet is required from a required mid-block corridor for any portion of a structure that exceeds 45 feet in height. The maximum depth of a setback that can be used for calculating the average is 20 feet.
E.
Separation. Separation between structures or portions of the same structure is required as follows:
1.
A minimum horizontal separation of 75 feet is required between proposed towers or between proposed and existing towers, regardless of whether they are on the same lot or on separate lots, as shown on Exhibit A for 23.48.845. For these purposes, a proposed tower is any tower in a development proposal for which an Early Design Guidance (EDG) meeting has been completed, and an existing tower is any tower in any development for which a certificate of occupancy has been issued; and
2.
Within a lot. A minimum horizontal separation of 75 feet is required between towers and all other portions of the same structure or portions of other structures on the same lot that exceed 45 feet in height, as shown on Exhibit A for 23.48.845.
Exhibit A for 23.48.845
Required separation between tower structures
F.
Projections. The first 4 feet of horizontal projection of decks, balconies with open railings, eaves, cornices, gutters, and similar architectural features are permitted in the upper-level setbacks required in subsection 23.48.845.D and in the separation area required in subsection 23.48.845.E.
(Ord. 125792, § 7, 2019)
The following standards apply to structures in which all portions of the structure are 85 feet or less in height not including stair or elevator penthouses and enclosed mechanical equipment.
A.
Upper-level setbacks. The following upper-level setbacks are required.
1.
An average upper-level setback of 10 feet is required from all street lot lines for any portion of a structure that exceeds 65 feet in height. The maximum depth of a setback that can be used for calculating the average is 15 feet.
2.
An average upper-level setback of 10 feet is required from a required mid-block corridor for any portion of a structure that exceeds 45 feet in height. The maximum depth of a setback that can be used for calculating the average is 20 feet.
B.
Separation. Separation between structures is required as follows:
1.
A minimum horizontal separation of 75 feet is required between portions of a structure over 45 feet in height not including stair or elevator penthouses or enclosed mechanical equipment and existing towers, regardless of whether they are on the same lot or on separate lots.
C.
Projections. The first 4 feet of horizontal projection of decks, balconies with open railings, eaves, cornices, gutters, and similar architectural features are permitted in the upper-level setbacks required in subsection 23.48.846.A and in the separation area required in subsection 23.48.846.B.
(Ord. 125792, § 7, 2019)
A.
For structures with a width of more than 250 feet, at least one portion of the structure 30 feet or greater in width must be set back a minimum of 15 feet from the front property line. For structures with a width of more than 500 feet, at least two portions of the structure 30 feet or greater in width and separated by at least 100 feet must be set back a minimum of 15 feet from the front property line.
B.
Modulation is not required:
1.
For portions of the street-facing facade of a story that is less than 4 feet above sidewalk grade, as measured to the top of the floor above the partially below-grade story;
2.
For structures that do not exceed 45 feet in height; or
3.
For stories above street level that include parking that is separated from the street lot line by other uses along all street frontages.
C.
The following projections are allowed within the setback specified in subsection 23.48.846.A:
1.
Roof eaves, including gutters and roof cornices and other similar architectural features, that may extend a maximum of 18 inches into the setback area; and
2.
Overhead weather protection, whether required by subsection 23.48.840.C or not.
(Ord. 125792, § 7, 2019)
Development proposed in all SM-NG zones is subject to MHA under the provisions of Chapters 23.58B and 23.58C.
(Ord. 125792, § 7, 2019)
A.
Usable open space meeting the standards of this Section 23.48.852 is required in all SM-NG zones for development including one or more structures containing more than a total of 10,000 square feet of gross floor area.
B.
Usable open space required by subsection 23.48.852.A shall meet the following standards:
1.
The minimum amount of required usable open space shall be equal to 2 square feet for every 100 square feet of chargeable gross floor area.
2.
Area qualifying as required usable open space may include both unenclosed and enclosed areas as provided for in this subsection 23.48.852.B. No more than 25 percent of the required usable open space may be enclosed usable open space.
3.
The required usable open space shall be accessible from street level, with variations in elevation allowed to accommodate changes in topography or to provide for features such as ramps that improve access for persons with disabilities.
4.
The required usable open space may be provided in more than one location on the lot if the required amount exceeds 4,500 square feet, and as long as no separate required usable open space area is less than 2,000 square feet.
5.
If the lot abuts a required mid-block corridor pursuant to Section 23.48.841, at least 50 percent of the required usable open space shall be located adjacent to or within the mid-block corridor.
6.
Area qualifying as unenclosed usable open space shall meet the following requirements:
a.
The average horizontal dimension shall be at least 30 feet and not less than 15 feet at any point;
b.
It shall abut a public street frontage or required mid-block corridor; and
c.
It shall be open to the sky with the exception of required overhead weather protection.
7.
Enclosed open space such as an atrium or winter garden shall meet the following requirements:
a.
The space shall have direct access for pedestrians, including persons with disabilities, from the street, an outdoor usable open space abutting the street, or a required mid-block corridor;
b.
The space shall be provided as one continuous area that is a minimum of 2,000 square feet in size with an average horizontal dimension of 30 feet and a minimum horizontal dimension of 15 feet;
c.
The minimum clearance from ground level to the ceiling, roof, or other enclosing structure is 15 feet; and
d.
Lobby areas and corridors used solely to provide access between the structure's principal street entrance and elevators, does not qualify as enclosed interior open space for the purposes of this subsection 23.48.852.B.7.
8.
Woonerfs consistent with the definition in Section 23.84A.044 can meet the requirement for usable open space.
9.
All areas provided as usable open space under this Section 23.48.852 shall be accessible to persons with disabilities.
10.
Features provided under this subsection 23.48.852.B are eligible to qualify as amenity area for residential uses required by Section 23.48.045, provided the standards of that Section 23.48.045 are met.
11.
Space provided for a required mid-block corridor pursuant to Section 23.48.841 may count towards the requirement for usable open space in this Section 23.48.852.
12.
Design of usable open space shall include various features such as seating, landscaping, and artistic elements that will enhance public use of the usable open space and increase activity and user comfort. The design of the usable open space shall be well integrated with the surrounding structures.
C.
Public access
1.
The required usable open space shall be open to the general public without charge for reasonable and predictable hours for a minimum of 10 hours each day of every week.
2.
Within the usable open space, property owners, tenants, and their agents shall allow individuals to engage in activities allowed in public places of a similar nature. Free speech activities such as hand billing, signature gathering and holding signs, all without obstructing access to the adjacent buildings or features, and without unreasonably interfering with the enjoyment of the space by others, shall be allowed.
D.
Offsite open space
1.
Usable open space required by Section 23.48.852 may be provided off site on another lot within a SM-NG zone with the same height limit.
2.
The owner of any lot on which off-site open space is provided to meet the requirements of this Section 23.48.852 shall execute and record an easement in a form acceptable to the Director assuring compliance with the requirements of this Section 23.48.852.
3.
Any executed and recorded easement shall be in place prior to issuance of building permit for any development in which open space required by this Section 23.48.852 is to be provided off-site.
4.
Development on any lot on which there is an easement to provide off-site open space required by this Section 23.48.852 shall provide the off-site open space prior to issuance of certificate of occupancy.
(Ord. 125792, § 7, 2019)
A.
Off-street parking spaces and bicycle parking are required according to Section 23.54.015.
B.
Maximum parking limit for non-residential uses
1.
Accessory parking for non-residential uses is limited to one parking space per every 1,000 square feet of gross floor area in non-residential use excluding gross floor area dedicated to accessory parking.
2.
If on or before September 1, 2012, a lot is providing legal off-site parking for another lot, by means such as a recorded parking easement or off-site accessory parking covenant on the subject lot, then the number of such off-site parking spaces is allowed in addition to one space per 1,000 square feet for non-residential uses on the subject lot.
3.
Parking provided for transit system operations, such as off-street layover spaces for transit system maintenance and service vehicles, are not subject to the limits of subsection 23.48.880.B.1.
4.
Park and ride lots. For any type of parking provided for park-and-ride purposes, there is no maximum parking limit.
C.
Maximum parking limit for residential uses. Parking for residential uses is limited to a maximum of 0.75 parking spaces per dwelling unit, except that parking spaces used exclusively by car-sharing services shall not be counted against the maximum.
D.
Off-site parking is allowed according to Section 23.54.025.
(Ord. 125792, § 7, 2019)
A.
Parking location within structures
1.
Except as provided in subsection 23.48.885.A.2, no more than two stories of parking above the street-level story may be provided.
2.
The Director may permit more than two stories of parking above the street-level story of the structure, or waive the amount of parking required to be located below grade when parking is provided above the street-level story, or permit other exceptions to this subsection 23.48.885.A.2, as a Type I decision, if the Director finds that locating parking below grade is infeasible due to physical site conditions such as a high-water table, presence of peat soil hazards, or proximity to a tunnel or culvert. In such cases, the Director shall determine the maximum feasible amount of parking that can be provided below grade, if any, and the amount of additional parking to be permitted above street level based on an assessment of the conditions that restrict an applicant from providing the parking below grade, such as the depth and dimensions of underground impediments. The rationale that a site is too small to accommodate parking below grade is not a basis for granting an exception under this subsection 23.48.885.A.2.
B.
Accessory surface parking shall be separated from all street lot lines by another use within a structure, except that driveway access need not be separated.
(Ord. 125792, § 7, 2019)
The provisions in this Subchapter VIII for the Seattle Mixed - Rainier Beach (SM-RB) zone are in addition to and supplement the provisions of Sections 23.48.005 through 23.48.095. In cases of conflicts between Sections 23.48.005 through 23.48.095 and this Subchapter VIII, the provisions of this Subchapter VIII apply.
(Ord. 125791, § 78, 2019.)
Residential and live-work uses are prohibited in street-level, street-facing facades facing Class 2 Pedestrian Streets in the Rainier Beach Residential Urban Village shown on Map A for 23.48.940.
(Ord. 125791, § 78, 2019.)
A.
Except as described in subsection 23.48.920.B, the floor area ratio (FAR) limit in SM-RB zones is as shown in Table A for 23.48.920.
B.
The FAR limit listed in Table A for 23.48.920 shall be increased by an amount of floor area equal to twice the amount of floor area occupied by the following uses, up to a maximum increase in FAR of 1.0 in SM-RB 55 and SM-RB 85 zones and 2.0 in SM-RB 125 zones:
1.
Light manufacturing;
2.
College;
3.
School, vocational, or fine arts;
4.
Food processing and craft work;
5.
Child care center; or
6.
Low-income housing.
A.
Pedestrian streets in SM-RB zones are as shown in Map A for 23.48.940.
Map A for 23.48.940
Pedestrian street classification in SM-RB zones
B.
On pedestrian streets shown on Map A for 23.48.940, the street-facing facade of a structure may be set back up to 12 feet from the street lot line subject to the following:
1.
The setback area shall be landscaped according to the provisions of Section 23.48.055;
2.
Setbacks greater than 12 feet are permitted for up to 30 percent of the length of portions of the street facade that are set back from the street lot line, provided that these setbacks are located 20 feet or more from any street corner; and
3.
Any required outdoor amenity area provided in accordance with Section 23.48.045 is not considered part of the setback area and may extend beyond the limit on setbacks from the street lot line that would otherwise apply under subsections 23.48.940.B.1 or 23.48.940.B.2.
C.
Except on pedestrian streets, loading docks may count toward meeting the transparency standards of subsection 23.48.040.B in the Rainier Beach Residential Urban Village.
(Ord. 125791, § 78, 2019.)
The standards of Sections 23.48.055 and 23.48.085 are modified as follows for portions of lots that do not abut a pedestrian street for a development that includes space with one or more uses listed in subsections 23.48.920.B.1 through 23.48.920.B.6:
A.
Surface parking is not required to be separated from the street by other uses.
B.
Two two-way curb cuts are allowed, provided no curb cuts are located on pedestrian streets.
C.
The amount of lot area allocated to accessory surface parking can be as much as 50 percent of the total lot area.
(Ord. 125791, § 78, 2019.)
48 - SEATTLE MIXED
A.
This Chapter 23.48 identifies uses that are or may be permitted in all Seattle Mixed zones and establishes development standards. The Seattle Mixed zone boundaries are shown on the Official Land Use Map. Seattle Mixed zone designations for specific geographic areas are identified in Table A for 23.48.002. The SM-SLU designation with a height limit suffix may be applied to SM-SLU zoned land in the South Lake Union Urban Center. The SM-D designation with a height limit range may be applied to SM-D zoned land in the West Dravus area. The SM-NR designation with a height limit suffix may be applied to SM-NR zoned land in the North Rainier area. The SM-U designation with a height limit suffix may be applied to SM-U zoned land in the University Community Urban Center. The SM-UP designation with a height limit suffix may be applied to SM-UP zoned land in the Uptown Urban Center. The SM-RB designation with a height limit suffix may be applied to SM-RB zoned land in the Rainier Beach Urban Village. The SM-NG designation with a height limit suffix may be applied to SM-NG zoned land in the Northgate Urban Center.
B.
Some land in these zones may be regulated by Subtitle III, Division 3, Overlay Districts, of this Title 23.
C.
The provisions of this Subchapter I of Chapter 23.48 are applicable to all Seattle Mixed zones, including Seattle Mixed zones in geographic areas shown on Table A for 23.48.002. Supplemental regulations for Seattle Mixed zones in specific geographic areas are provided for in the subsequent subchapters of this Chapter 23.48. To the extent provisions in a supplemental subchapter conflict with provisions in this Subchapter I, the provisions of the supplemental subchapter shall prevail.
D.
Other regulations, including but not limited to general use provisions (Chapter 23.42); requirements for streets, alleys, and easements (Chapter 23.53); standards for parking quantity, access, and design (Chapter 23.54); standards for solid waste storage (Chapter 23.54); signs (Chapter 23.55); communication regulations (Chapter 23.57); and measurements (Chapter 23.86) may apply to development proposals.
(Ord. 125792, § 3, 2019; Ord. 125791, § 56, 2019; Ord. 125432, § 6, 2017; Ord. 125267, § 16, 2017; Ord. 124969, § 7, 2016; Ord. 124883, § 13, 2015.)
A.
Permitted uses
1.
All uses are permitted outright, either as principal or accessory uses, except those specifically prohibited by subsection 23.48.005.B and those permitted only as conditional uses by subsection 23.48.005.C.
2.
Adult cabarets shall comply with the requirements of subsection 23.47A.004.H.
3.
Major cannabis activity shall comply with the requirements of Section 23.42.058.
B.
Prohibited uses. The following uses are prohibited as both principal and accessory uses, except as otherwise noted:
1.
All high-impact uses;
2.
All heavy manufacturing uses;
3.
General manufacturing uses, greater than 25,000 square feet of gross floor area for an individual business establishment, except for pharmaceutical production;
4.
Drive-in businesses, except gas stations;
5.
Jails;
6.
Adult motion picture theaters and adult panorams;
7.
Outdoor storage, except for outdoor storage associated with florists and horticulture uses;
8.
Principal use surface parking;
9.
Animal shelters and kennels;
10.
Animal husbandry;
11.
Park and pool lots;
12.
Park and ride lots;
13.
Work release centers;
14.
Recycling;
15.
Solid waste management; and
16.
Mobile home parks.
C.
Conditional uses
1.
Conditional uses are subject to the procedures described in Chapter 23.76 and shall meet the provisions of both Section 23.42.042 and this subsection 23.48.005.C.
2.
Mini-warehouses and warehouses may be permitted by the Director as administrative conditional uses if:
a.
The street-level portion of a mini-warehouse or warehouse only fronts on an east/west oriented street, or an alley; and
b.
Vehicular entrances, including those for loading operations, will not disrupt traffic or transit routes; and
c.
The traffic generated will not disrupt the pedestrian character of an area by significantly increasing the potential for pedestrian-vehicle conflicts.
3.
Helistops and heliports may be permitted as Council conditional uses according to the following criteria:
a.
The helistop or heliport is: for the takeoff and landing of helicopters that serve a public safety, news gathering or emergency medical care function and, in the case of heliports, services provided for those helicopters; is part of a City and regional transportation plan approved by the City Council and is a public facility; or is part of a City and regional transportation plan approved by the City Council and is not within 2,000 feet of a residential zone.
b.
The helistop or heliport is located so as to minimize adverse physical environmental impacts on lots in the surrounding area, and particularly on residentially zoned lots, public parks, and other areas where substantial public gatherings may be held.
c.
The lot is of sufficient size that the operations of the helistop or heliport and the flight paths of the helicopters can be buffered from other uses in the surrounding area.
d.
Open areas and landing pads shall be hard-surfaced.
e.
The helistop or heliport meets all federal requirements including those for safety, glide angles, and approach lanes.
D.
Required street-level uses
1.
One or more of the following uses listed in this subsection 23.48.005.D.1 are required, except as permitted by Section 23.42.041 for uses provided for interim street activation purposes that apply in the Uptown and South Lake Union Urban Centers: (i) at street level of the street-facing facade along streets designated as Class 1 Pedestrian Streets shown on Map A for 23.48.240, except as required in subsection 23.48.205.C; (ii) at street level of the street-facing facades along streets designated on Map A for 23.48.640; and (iii) at street level of the street-facing facades along streets designated as Class 1 or Class 2 streets shown on Map A for 23.48.740:
a.
General sales and service uses;
b.
Eating and drinking establishments;
c.
Entertainment uses;
d.
Public libraries;
e.
Public parks;
f.
Arts facilities;
g.
Religious facilities;
h.
Light rail transit stations;
i.
Child care centers; and
j.
Low-income housing.
2.
Standards for required street-level uses. Required street-level uses shall meet the development standards in subsection 23.48.040.C, and any additional standards for Seattle Mixed zones in specific geographic areas in the applicable subchapter of this Chapter 23.48.
E.
Public facilities in all SM zones
1.
Uses in public facilities that are most similar to uses permitted outright or permitted as a conditional use under this Chapter 23.48 are permitted outright or as a conditional use, respectively, subject to the same use regulations, development standards, and conditional use criteria that govern the similar uses.
2.
Permitted uses in public facilities requiring council approval. Unless specifically prohibited in this Chapter 23.48, uses in public facilities that are not similar to uses permitted outright or permitted as a conditional use under this Chapter 23.48 may be permitted by the Council.
3.
In all SM zones, uses in public facilities not meeting development standards may be permitted by the Council, and the Council may waive or grant departures from development standards, if the following criteria are satisfied:
a.
The project provides unique services that are not provided to the community by the private sector, such as police and fire stations;
b.
The proposed location is required to meet specific public service delivery needs;
c.
The waiver of or departure from the development standards is necessary to meet specific public service delivery needs; and
d.
The relationship of the project to the surrounding area has been considered in the design, siting, landscaping, and screening of the facility.
4.
The Council's use approvals, and waivers of or grants of departures from applicable development standards or conditional use criteria, contemplated by subsections 23.48.005.E.2 and 23.48.005.E.3, are governed by the provisions of Chapter 23.76, Subchapter III.
5.
Expansion of uses in public facilities
a.
Major expansion. Major expansion of uses in public facilities allowed pursuant to subsections 23.48.005.E.1, 23.48.005.E.2, and 23.48.005.E.3 may be permitted according to the criteria and process in those subsections 23.48.005.E.1, 23.48.005.E.2, and 23.48.005.E.3. A major expansion of a public facility use occurs when an expansion would not meet development standards or the area of the expansion would exceed either 750 square feet or ten percent of the existing area of the use, whichever is greater. For the purposes of this Section 23.48.005, area of use includes gross floor area and outdoor area devoted actively to that use, other than as parking.
b.
Minor expansion. An expansion of a use in a public facility that is not a major expansion is a minor expansion. Minor expansions to uses in public facilities allowed pursuant to subsections 23.48.005.E.1, 23.48.005.E.2, and 23.48.005.E.3 above may be permitted according to the provisions of Chapter 23.76 for a Type I Master Use Permit.
6.
Essential public facilities. Permitted essential public facilities, except for light rail transit facilities, shall be reviewed according to the provisions of Chapter 23.80. Light rail transit facilities are exempt from the development standards in this Chapter 23.48 and shall be reviewed according to the provisions of Chapter 23.80.
(Ord. 127228, § 8, 2025; Ord. 127198, § 3, 2025; Ord. 127099, § 26, 2024; Ord. 126855, § 20, 2023; Ord. 126287, § 7, 2021; Ord. 126131, § 8, 2020; Ord. 125603, § 31, 2018; Ord. 125432, § 7, 2017; Ord. 125267, § 17, 2017; Ord. 124969, § 8, 2016; Ord. 124883, § 13, 2015.)
A.
An applicant may seek approval of a Major Phased Development, as defined in Section 23.84A.025. A Major Phased Development proposal is subject to the provisions of the zone in which it is located and shall meet the following thresholds:
1.
Minimum site size of 5 acres, composed of contiguous parcels or parcels divided only by one or more rights-of-way.
2.
The proposed project, which at time of application is a single, functionally interrelated campus, contains more than one building, with a minimum total gross floor area of 200,000 square feet.
3.
The first phase of the development consists of at least 100,000 square feet in gross building floor area.
4.
At the time of application, the project is consistent with the general character of development anticipated by Land Use Code regulations.
B.
A Major Phased Development application shall be submitted, evaluated, and approved according to the following:
1.
The application shall contain a level of detail that is sufficient to reasonably assess anticipated impacts, including those associated with a maximum build-out, within the timeframe requested for Master Use Permit extension.
2.
A Major Phased Development component shall not be approved unless the Director concludes that anticipated environmental impacts, such as traffic, open space, shadows, construction impacts and air quality, are not significant or can be effectively monitored and conditions imposed to mitigate impacts over the extended life of the permit.
3.
Expiration or renewal of a permit for the first phase of a Major Phased Development is subject to the provisions of Chapter 23.76. The Director shall determine the expiration date of a permit for subsequent phases of the Major Phased Development through the analysis provided for above; such expiration shall be no later than 15 years from the date of issuance.
C.
Changes to the approved Major Phased Development
1.
When an amendment to a Master Use Permit with a Major Phased Development component is requested, the Director shall determine whether the amendment is minor or not.
a.
A minor amendment is one that meets the following criteria:
1)
Substantial compliance with the approved site plan and conditions imposed in the existing Master Use Permit with the Major Phased Development component with no substantial change in the mix of uses and no major departure from the bulk and scale of structures originally proposed; and
2)
Compliance with applicable requirements of this Title 23 in effect at the time of the original Master Use Permit approval; and
3)
No significantly greater impact would occur.
2.
If the Director determines that the amendment is minor, the Director may approve a revised site plan as a Type I decision. The Master Use Permit expiration date of the original approval shall be retained.
3.
If the Director determines that the amendment is not minor, the applicant may either continue under the existing Major Phased Development approval or may submit a revised Major Phased Development application. The revised application shall be the subject of a Type II decision. Only the portion of the site affected by the revision shall be subject to regulations in effect on the date of the revised Major Phased Development application, notwithstanding any provision of Chapter 23.76. The decision may retain or extend the existing expiration date on the portion of the site affected by the revision.
(Ord. 126157, § 27, 2020.)
If an historic Landmark structure is relocated within an SM zone, the structure need not comply with development standards of the zone if the Director waives compliance with a development standard or standards in order to facilitate relocation and preservation of landmarks.
(Ord. 124883, § 13, 2015.)
A.
General provisions
1.
All gross floor area not exempt under subsection 23.48.020.B counts toward the gross floor area allowed under the FAR limits.
2.
The applicable FAR limit applies to the total non-exempt gross floor area of all structures on the lot.
3.
If a lot is in more than one zone, the FAR limit for each zone applies to the portion of the lot located in that zone.
B.
Floor area exempt from FAR calculations. The following floor area is exempt from maximum FAR calculations:
1.
All underground stories or portions of stories.
2.
Portions of a story that extend no more than 4 feet above existing or finished grade, whichever is lower, excluding access.
3.
As an allowance for mechanical equipment, in any structure 65 feet in height or more, 3.5 percent of the total chargeable gross floor area in a structure is exempt from FAR calculations. Calculation of the allowance includes the remaining gross floor area after all exempt space allowed in this subsection 23.48.020.B has been deducted. Mechanical equipment located on the roof of a structure, whether enclosed or not, is not included as part of the calculation of total gross floor area.
4.
All gross floor area for solar collectors and wind-driven power generators.
5.
Bicycle commuter shower facilities required by subsection 23.54.015.K.8.
6.
The floor area of required bicycle parking for small efficiency dwelling units or congregate residence sleeping rooms, if the bicycle parking is located within the structure containing the small efficiency dwelling units or congregate residence sleeping rooms. Floor area of bicycle parking that is provided beyond the required bicycle parking is not exempt from FAR limits.
7.
Child care centers.
8.
In low-income housing, all gross floor area for accessory human service uses.
9.
Other uses permitted by interim street activation provisions in Section 23.42.041.
C.
Minimum FAR
1.
A minimum FAR shown in Table A for 23.48.020 is required whenever more than 1,000 square feet of gross floor area is added to or removed from a lot located in a Station Area Overlay District or on a lot abutting a Class 1 or Class 2 Pedestrian Street or a Neighborhood Green Street, as shown on Map A for 23.48.240 for SM-SLU zones, Map A for 23.48.440 for SM-NR zones, Map A for 23.48.640 for SM-U zones, and Map A for 23.48.740 for SM-UP zones.
2.
The minimum FAR requirement provided in subsection 23.48.020.C.1 does not apply if:
a.
Additional floor area is added to an existing structure on a lot that is nonconforming with respect to the minimum FAR shown in Table A for 23.48.020;
b.
The lot is larger than 5 acres;
c.
All existing gross floor area is demolished to create a vacant lot; or
d.
Parks and open space is the principal use of the lot.
3.
Portions of the lot designated as a steep slope, wetland, or riparian corridor or as a buffer to one of these areas, as defined in Chapter 25.09, are not included when calculating lot size for the purpose of determining the minimum FAR requirement provided in subsection 23.48.020.C.1.
4.
The Director, in consultation with the Director of the Department of Neighborhoods, may waive the minimum FAR requirement in subsection 23.48.020.C.1 for lots that contain a designated Landmark, or for lots within a Landmark District pursuant to Title 25 or within a Special Review District pursuant to Chapter 23.66, if the Director determines a waiver is necessary to preserve the integrity of a Landmark or meet adopted District design and development guidelines.
5.
All gross floor area is counted toward the minimum FAR requirement provided in subsection 23.48.020.C.1, except the following:
a.
Gross floor area below grade, including all underground stories or portions of stories; and
b.
Gross floor area containing parking.
(Ord. 127198, § 4, 2025; Ord. 126855, § 21, 2023; Ord. 126287, § 8, 2021; Ord. 126157, § 28, 2020; Ord. 125603, § 32, 2018; Ord. 125558, § 18, 2018; Ord. 125432, § 8, 2017; Ord. 125272, § 31, 2017; Ord. 125267, § 18, 2017; Ord. 124883, § 13, 2015.)
A.
General
1.
Development achieving extra floor area under Section 23.48.025 shall provide public amenities according to the standards of this Section 23.48.021 and Chapter 23.58A. If the development is not located within an adopted Local Infrastructure Project Area as per Map A for 23.58A.044, extra floor area shall be achieved through the requirements of subsection 23.48.021.B. If the development is located within an adopted Local Infrastructure Project Area, extra floor area shall be achieved through the requirements of subsection 23.48.021.C.
2.
Development achieving extra floor area in Seattle Mixed zones shall meet the conditions of this Section 23.48.021 and provide public amenities according to the standards of this Section 23.48.021 and Chapter 23.58A, except where supplemented in the applicable subchapter.
3.
Definitions in Section 23.58A.004 apply in this Section 23.48.021 unless otherwise specified.
B.
Calculation outside of specific areas
1.
Means to achieve extra residential floor area. If the maximum height limit for residential use is 85 feet or lower or the lot is located outside of the South Lake Union Urban Center, SM-U zones, and the Mount Baker Station Area Overlay District, the applicant shall use bonus residential floor area for affordable housing pursuant to Section 23.58A.014 to achieve all extra residential floor area on the lot.
2.
Means to achieve extra non-residential floor area. If the maximum height limit for non-residential use is 85 feet or lower or the lot is located outside of the South Lake Union Urban Center, SM-U zones, and the Mount Baker Station Area Overlay District, the applicant shall use bonus non-residential floor area for affordable housing and child care pursuant to Section 23.58A.024 to achieve all extra non-residential floor area on the lot.
C.
Calculation within an adopted Local Infrastructure Project Area
1.
Means to achieve extra residential floor area. If the maximum height limit for residential use is 85 feet or lower, the applicant shall use bonus residential floor area for affordable housing pursuant to Section 23.58A.014 to achieve all extra residential floor area on the lot. If the maximum height limit for residential use is greater than 85 feet, the applicant shall:
a.
Achieve 60 percent of the extra residential floor area on the lot by using bonus residential floor area for affordable housing pursuant to Section 23.58A.014; and
b.
Achieve 40 percent of extra residential floor area by acquiring regional development credits pursuant to Section 23.58A.044, except that a development that is located in the area bounded by Thomas Street to the north, Denny Way to the south, Terry Avenue N to the west, and Boren Avenue N to the east, on a lot that has slopes of ten percent or more, may achieve 20 percent of extra residential floor area by acquiring regional development credits pursuant to Section 23.58A.044 and 20 percent of extra residential floor area by providing public amenities consisting of a mid-block corridor, a hillclimb assist, and a public viewpoint that meet the following standards:
1)
The mid-block corridor, hillclimb assist, and public viewpoint may be used to achieve extra residential floor area according to a ratio of 20 square feet of extra residential floor area per 1 square foot of qualifying mid-block corridor, hillclimb assist, and public viewpoint area.
2)
The amenities shall meet the general eligibility conditions for amenity features in the Downtown Amenity Standards and the standards in subsections 23.58A.040.C.5.g, 23.58A.040.C.5.h, and 23.58A.040.C.5.i; provided that the mid-block corridor, hillclimb assist, and public viewpoint shall be considered open space amenity features for purposes of the general eligibility conditions for amenity features in the Downtown Amenity Standards.
3)
The mid-block corridor shall:
a)
Be consistent with the size and coverage requirements, and the landscaping and lighting guidelines, for mid-block corridors in the Downtown Amenity Standards;
b)
Provide a continuous direct route connecting Terry Avenue N and Boren Avenue N; and
c)
Incorporate a mechanical conveyance, such as an elevator, for conveying pedestrians up the vertical distance between the elevations of Terry Avenue N and Boren Avenue N.
4)
The hillclimb assist shall:
a)
Be consistent with the eligibility conditions for hillclimb assists in the Downtown Amenity Standards, except that an elevator may qualify as the required mechanical conveyance.
b)
Be consistent with the guideline requirements for hillclimb assists in the Downtown Amenity Standards except that at least 65 percent of the travel path must be open to the sky; and any covered portions of the corridor must have a minimum height of 13 feet between the ground and any overhead projection or overhanging structure.
5)
The viewpoint shall provide public views of significant natural and human-made features, and shall meet the requirements for an additional open space area abutting the mid-block corridor specified in the Downtown Amenity Standards.
6)
Only one lot may achieve 20 percent of extra residential floor area by providing public amenities consisting of a mid-block corridor and a public view point pursuant to this subsection 23.48.021.C.1.b.
2.
Means to achieve extra non-residential floor area. If the maximum height limit for non-residential use is 100 feet or lower, the applicant shall use bonus non-residential floor area for affordable housing and child care pursuant to Section 23.58A.024 to achieve all extra non-residential floor area on the lot. If the maximum height limit for non-residential use is greater than 100 feet, the applicant shall:
a.
Achieve 75 percent of the extra non-residential floor area on the lot by using bonus non-residential floor area for affordable housing and child care pursuant to Section 23.58A.024, or housing transferable development rights (TDR) pursuant to subsection 23.48.221.A and Section 23.58A.042, or both; and
b.
Achieve 25 percent of extra non-residential floor area by acquiring regional development credits pursuant to Section 23.58A.044.
D.
Minimum requirement. Developments containing any extra floor area shall meet the following requirements:
1.
Green building performance. The applicant shall make a commitment that the proposed development will meet the green building standard and shall demonstrate compliance with that commitment, all in accordance with Chapter 23.58D.
2.
Transportation Management Program (TMP). The applicant will provide a TMP for non-residential development, consistent with requirements for TMPs in any applicable Director's rule, that demonstrates, to the satisfaction of the Director in consultation with the Director of Transportation, that no more than 40 percent of trips to and from the development will be made using single-occupant vehicles (SOVs). The TMP shall be submitted with the Master Use Permit application.
a.
For purposes of measuring the percent of trips to and from the development made using SOVs in the TMP, the number of SOV trips shall be calculated for the p.m. peak hour in which an applicant expects the largest number of vehicle trips to be made by employees at the site (the p.m. peak hour of the generator).
b.
Compliance with this subsection 23.48.021.D.2 does not affect the responsibility of any employer to comply with Seattle's Commute Trip Reduction (CTR) Ordinance.
(Ord. 125791, § 57, 2019; Ord. 125432, § 9, 2017; Ord. 125267, § 19, 2017; Ord. 125163, § 8, 2016; Ord. 124883, § 13, 2015.)
A.
Height limits
1.
The height limits for structures in Seattle Mixed zones are as shown on the Official Land Use Map, Chapter 23.32, except as otherwise provided in this Section 23.48.025 or in the applicable subchapters of this Chapter 23.48 for Seattle Mixed zone designations for specific geographic areas shown in Table A for 23.48.002. In certain zones, as specified in this Section 23.48.025, the maximum structure height is allowed only for particular uses or only under specified conditions, or both. Where height limits are established for portions of a structure that contain specified types of uses, the applicable height limit for the structure is the highest applicable height limit for the types of uses in the structure, unless otherwise specified.
2.
In the SM-SLU and SM-D zones, the applicable height limit for portions of a structure that contain non-residential and live-work uses is shown as the first figure after the zone designation, and the base height limit for portions of a structure in residential use is shown as the first figure following the "/". The third figure shown is the maximum residential height limit.
B.
Pitched roofs. In SM zones with a height limit of 85 feet or less, the ridge of a pitched roof with a minimum slope of 6 to 12 may extend 10 feet above the height limit. The ridge of a pitched roof with a minimum slope of 4 to 12 may extend 5 feet above the height limit (Exhibit A for 23.48.025). No portion of a shed roof shall be permitted to extend beyond the height limit under this provision, 23.48.025.
Exhibit A for 23.48.025
Pitched Roofs
C.
Rooftop features
1.
Smokestacks, chimneys, flagpoles, and religious symbols for religious institutions are exempt from height controls, except as regulated in Chapter 23.64, provided they are a minimum of 10 feet from any side or rear lot line.
2.
Open railings, planters, skylights, clerestories, greenhouses, parapets, and firewalls may extend up to 4 feet above the maximum height limit with unlimited rooftop coverage. Insulation material or soil for landscaping located above the structural roof surface may exceed the maximum height limit if enclosed by parapets or walls that comply with this subsection 23.48.025.C.2.
3.
Solar collectors may extend up to 7 feet above the maximum height limit, with unlimited rooftop coverage.
4.
The following rooftop features may extend up to 15 feet above the applicable height limit, if the combined total coverage of all features listed in this subsection 23.48.025.C.4 does not exceed 35 percent of the roof area, or does not exceed 60 percent coverage of the roof area if the total includes a greenhouse:
a.
Solar collectors that exceed heights allowed by subsection 23.48.025.C.3;
b.
Stair and elevator penthouses;
c.
Mechanical equipment;
d.
Atriums, greenhouses, and solariums;
e.
Play equipment and open-mesh fencing that encloses it, as long as the fencing is at least 15 feet from the roof edge;
f.
Minor communication utilities and accessory communication devices, except that height is regulated according to the provisions of Section 23.57.012;
g.
Covered or enclosed common amenity area;
h.
Chimneys;
i.
Sun and wind screens, and similar weather protection features such as eaves or canopies extending from rooftop features; and
j.
Wind-driven power generators.
5.
For structures greater than 85 feet in height, elevator penthouses up to 25 feet above the height limit are permitted. If the elevator provides access to a rooftop designed to provide usable open space or common recreation area, elevator penthouses and mechanical equipment up to 45 feet above the height limit are permitted, provided that all of the following are satisfied:
a.
The structure must be greater than 125 feet in height; and
b.
The combined total coverage of all features gaining additional height listed in subsection 23.48.025.C.4 does not exceed limits listed in subsection 23.48.025.C.4, or the limit in subsection 23.48.025.C.6 if it applies.
6.
At the applicant's option, the combined total coverage limit of all rooftop features listed in subsections 23.48.025.C.4 and 23.48.025.C.5 is 75 percent, provided that all of the following are satisfied:
a.
All mechanical equipment is screened or enclosed; and
b.
No rooftop features are located closer than 10 feet to the roof edge, except features that do not exceed the height of the parapet or 5 feet above the roof surface, whichever is greater, or which may be permitted by design review departure or other code provisions including but not limited to Chapter 23.57.
7.
In order to protect solar access for property to the north, the applicant shall either locate the rooftop features listed in this subsection 23.48.025.C.7 at least 10 feet from the north lot line, or provide shadow diagrams to demonstrate that the proposed location of such rooftop features would shade property to the north on January 21 at noon no more than would a structure built to maximum permitted bulk:
a.
Solar collectors;
b.
Planters;
c.
Clerestories;
d.
Atriums, greenhouses, and solariums;
e.
Minor communication utilities and accessory communication devices according to the provisions of Section 23.57.012;
f.
Sun and wind screens, and similar weather protection features such as eaves or canopies extending from rooftop features;
g.
Nonfirewall parapets;
h.
Play equipment; and
i.
Covered or enclosed common amenity areas.
8.
Screening. Rooftop mechanical equipment and elevator penthouses shall be screened with fencing, wall enclosures, or other structures.
9.
For height limits and exceptions for communication utilities and accessory communication devices, see Section 23.57.012.
(Ord. 126600, § 7, 2022; Ord. 126157, § 29, 2020; Ord. 125791, § 58, 2019; Ord. 125272, § 32, 2017; Ord. 125267, § 20, 2017; Ord. 124883, § 13, 2015.)
A.
Street-facing facade requirements. The following street-facing facade requirements apply to facades facing on streets as shown on Map A for 23.48.240, Map A for 23.48.440, Map A for 23.48.740, Map A for 23.48.840, or Map A for 23.48.940:
1.
Primary pedestrian entrance. In the SM-SLU, SM-NR, SM-UP, and SM-NG zones, each new structure facing a Class 1 Pedestrian Street, and in the SM-RB zone each new structure facing a Class 2 Pedestrian Street, is required to provide a primary building entrance for pedestrians from the street or a street-oriented courtyard that is no more than 3 feet above or below the sidewalk grade.
2.
Minimum facade height. In the SM-SLU, SM-NR, SM-NG, and SM-RB zones, a minimum facade height is required for the street-facing facades of new structures, unless all portions of the structure are lower than the required minimum facade height listed below.
a.
On Class 1 Pedestrian Streets, the minimum height for street-facing facades is 45 feet.
b.
On Class 2 Pedestrian Streets and Neighborhood Green Streets, the minimum height for street-facing facades is 25 feet.
c.
On all other streets, the minimum height for street-facing facades is 15 feet.
B.
Transparency and blank facade requirements. In the SM-SLU, SM-NR, SM-U, SM-UP, SM-RB, and SM-NG zones, the provisions of this subsection 23.48.040.B apply to the area of a street-facing facade between 2 feet and 8 feet above a sidewalk, but do not apply to portions of a structure in residential use or, within the SM-U and SM-NG districts, to portions of a structure in use as a light rail station.
1.
Transparency requirements
a.
In the SM-SLU, SM-NR, SM-U, SM-UP, SM-RB, and SM-NG zones, on Class 1, Class 2, and Class 3 Pedestrian Streets and Neighborhood Green Streets, a minimum of 60 percent of the street-facing facade must be transparent, except that if the slope of the street frontage abutting the lot exceeds 7.5 percent, the required amount of transparency is 45 percent of the street-facing facade.
b.
In the SM-SLU, SM-D, SM-NR, SM-U, SM-UP, SM-RB, and SM-NG zones, for all other streets not specified in subsection 23.48.040.B.1.a, a minimum of 30 percent of the street-facing facade must be transparent, except that if the slope of the street frontage abutting the lot exceeds 7.5 percent, the minimum amount of transparency is 22 percent of the street-facing facade.
c.
Only clear or lightly tinted glass in windows, doors, and display windows is considered transparent. Transparent areas shall be designed and maintained to provide views into and out of the structure. Except for institutional uses, no permanent signage, window tinting or treatments, shelving, other furnishings, fixtures, equipment, or stored items shall completely block views into and out of the structure between 4 feet and 7 feet above adjacent grade. The installation of temporary signs or displays that completely block views may be allowed if such temporary installations comply with subsection 23.55.012.B.
2.
Blank facade limits. Any portion of the street-facing facade that is not transparent is considered to be a blank facade and is subject to the following:
a.
In the SM-SLU, SM-NR, SM-U, SM-UP, SM-RB, and SM-NG zones, for Class 1, Class 2, and Class 3 Pedestrian Streets and Neighborhood Green Streets, the following apply:
1)
Blank facades are limited to segments 15 feet wide. Blank facade width may be increased to 30 feet if the Director determines as a Type I decision that the facade is enhanced by architectural detailing, artwork, landscaping, or other similar features that have visual interest.
2)
The total width of all blank facade segments shall not exceed 40 percent of the width of the street-facing facade of the structure on each street frontage, or 55 percent of the width of the street-facing facade if the slope of the street frontage abutting that lot exceeds 7.5 percent.
b.
All other streets not specified in subsection 23.48.040.B.2.a are subject to the following:
1)
Blank facades are limited to segments 30 feet wide. Blank facade width may be increased to 60 feet if the Director determines as a Type I decision that the facade is enhanced by architectural detailing, artwork, landscaping, or other similar features that have visual interest.
2)
The total width of all blank facade segments shall not exceed 70 percent of the width of the street-facing facade of the structure on each street frontage; or 78 percent if the slope of the street frontage abutting that lot exceeds 7.5 percent.
c.
Any blank segment of a street-facing facade shall be separated by transparent areas that are at least 2 feet wide.
C.
Development standards for required street-level uses. Street-level uses that are required by subsection 23.48.005.D, 23.48.605.C, or 23.48.805.B, and street-level uses exempt from FAR calculations under the provisions of subsection 23.48.220.B.2, 23.48.620.B.2, 23.48.720.B.2, or 23.48.820.B, whether required or not, shall meet the following development standards. In the SM-NG zone, where street-level use requirements apply to a mid-block corridor, these standards shall be applied as if the mid-block corridor were a street.
1.
Where street-level uses are required, a minimum of 75 percent of the applicable street-level, street-facing facade shall be occupied by uses listed in subsection 23.48.005.D.1 or uses provided for interim street activation purposes where they apply in the Uptown and South Lake Union Urban Centers. The remaining street-facing facade may contain other permitted uses or pedestrian or vehicular entrances.
2.
There is no minimum frontage requirement for street-level uses provided at locations where they are not required but are exempt from FAR calculations under the provisions of subsections 23.48.220.B.2, 23.48.620.B.2, 23.48.720.C.4, or 23.48.820.B.
3.
The space occupied by street-level uses shall have a minimum floor-to-floor height of 13 feet and extend at least 30 feet in depth at street level from the street-facing facade, except when the use is allowed by interim street activation provisions in Section 23.42.041.
4.
If the minimum requirements of subsection 23.48.040.C.1 and the depth requirements of subsection 23.48.040.C.2 would require more than 50 percent of the structure's footprint to be occupied by required uses in subsection 23.48.005.D, the Director may modify the street-facing facade or depth requirements, or both, so that no more than 50 percent of the structure's footprint is required to be occupied by the uses required by subsection 23.48.005.D.
5.
Street-level uses shall be located within 10 feet of the street lot line, except for the following:
a.
Required street-level uses may be located more than 10 feet from the applicable street lot line if they abut an outdoor amenity area provided to meet the requirements of Section 23.48.045, or other required or bonused amenity area or open space provided for in this Chapter 23.48 that separates the portion of the street-facing facade including the required street-level uses from the street lot line;
b.
If a street-level setback is required from the street lot line by the provisions of this Chapter 23.48 or Chapter 23.53, the 10-foot distance shall be measured from the line established by the required setback; and
c.
If development standards in this Chapter 23.48 require modulation of the street-facing facade at street level, the required street-level uses may abut the street-level setback area provided to comply with the modulation standards.
6.
Pedestrian access to street-level uses shall be provided directly from the street, from permitted outdoor common amenity area, or from open space abutting the street. Pedestrian entrances shall be located no more than 3 feet above or below the grade of the sidewalk or pedestrian walkway or at the same elevation as the abutting permitted outdoor common amenity area or required or bonused open space.
D.
Maximum width. The provisions of this subsection 23.48.040.D apply to all structures in SM-U zones and structures along Class 1 pedestrian streets in all other Seattle Mixed zones, except the provisions of this subsection 23.48.040.D do not apply in SM-SLU zones.
1.
The maximum width of a structure, or of a portion of a structure for which the limit is calculated separately according to subsection 23.48.040.D.2, as measured along all streets in SM-U zones and along Class 1 pedestrian street in other Seattle Mixed zones, except SM-SLU zones, is 250 feet, except as otherwise provided in subsection 23.48.040.D.3.
2.
For purposes of this subsection 23.48.040.D, the width limit shall be calculated separately for a portion of a structure if:
a.
There are no connections allowing direct access, such as hallways, bridges, or stairways, between that portion of a structure and other portions of a structure; or
b.
The only connections between that portion of a structure and other portions of a structure is in stories, or portions of a stories, that are underground or extend no more than 4 feet above the sidewalk, measured at any point above the sidewalk elevation to the floor above the partially below-grade story, excluding access.
3.
For purposes of this subsection 23.48.040.D, the following portions of a structure shall not be included in facade width measurement:
a.
Designated Landmark structures that are retained on the lot.
b.
Structures in SM-U zones that qualify as vulnerable masonry structures according to Section 23.48.630 and are retained on the lot.
c.
Stories of a structure on which more than 50 percent of the total gross floor area is occupied by any of the following uses:
1)
Arts facilities;
2)
Community clubs or community centers;
3)
Child care centers;
4)
Elementary or secondary schools;
5)
Performing arts theaters; or
6)
Religious facilities.
(Ord. 127198, § 5, 2025; Ord. 126685, § 28, 2022; Ord. 125792, § 4, 2019; Ord. 125791, § 59, 2019; Ord. 125432, § 10, 2017; Ord. 125267, § 21, 2017; Ord. 124883, § 13, 2015.)
A.
Amenity area is required for all development with more than 20 new dwelling units.
B.
Quantity of amenity area. An area equivalent to five percent of the total gross floor area in residential use shall be provided as amenity area, except that in no instance shall the amount of required amenity area exceed the area of the lot. In determining the quantity of amenity area required, accessory parking areas and areas used for mechanical equipment are excluded from the calculation of gross floor area in residential use. For the purposes of this subsection 23.48.045.B, bioretention facilities qualify as amenity area.
C.
Standards for amenity area. Required amenity area shall meet the following standards:
1.
All residents of the project shall have access to the required amenity area, which may be provided at or above ground level.
2.
A maximum of 50 percent of the required amenity area may be enclosed.
3.
The minimum horizontal dimension for required amenity areas is 15 feet, except that for amenity area that is provided as landscaped open space located at street level and accessible from the street, the minimum horizontal dimension is 10 feet.
4.
The minimum size of a required amenity area is 225 square feet.
5.
Amenity area provided as landscaped open space located at street level and accessible from the street shall be counted as twice the actual area in determining the amount provided to meet the amenity area requirement.
6.
Public open space provided on a lot to meet open space requirements for non-residential uses on the lot or to allow for extra non-residential floor area through a floor area bonus for open space amenities according to the provisions of this Chapter 23.48 and Section 23.58A.040 may be used as area satisfying the residential amenity area requirement for residential uses on the lot if the open space provided meets the standards of this Section 23.48.045.
7.
Parking areas, driveways, and pedestrian access, except for pedestrian access meeting the Washington State Rules and Regulations for Barrier-Free Design, shall not be counted as amenity area except that a woonerf may provide a maximum of 50 percent of the required amenity area if the design of the woonerf is approved through a design review process pursuant to Chapter 23.41.
8.
For a development that maintains a designated Seattle Landmark on the lot, the Director may, as Type I decision and in consultation with the Director of the Department of Neighborhoods, waive or modify the amenity area requirement if it is determined that maintaining the Landmark structure significantly limits the ability to accommodate the required amenity area on the site.
9.
For lots abutting a designated Neighborhood Green Street, up to 50 percent of the amenity area requirement may be met by improving the abutting Neighborhood Green Street according to the standards for green street improvements in Section 23.58A.040. The Director may waive the requirement that the Neighborhood Green Street abut the lot and allow the improvement to be made to a Neighborhood Green Street located in the general vicinity of the project if the Director determines that the improvement will benefit residents of the project.
The provisions of Chapters 23.58B and 23.58C apply in all Seattle Mixed zones, except SM-SLU 85/65-160 zones and SM-UP zones that do not have a mandatory housing affordability suffix.
(Ord. 125791, § 60, 2019.)
A.
Landscaping requirements
1.
All landscaping provided to meet the requirements of this Section 23.48.055 shall comply with the Director's rules adopted to foster the long-term health, viability, and coverage of plantings. The Director's rules shall address, at a minimum, the type and size of plants, spacing of plants, use of drought-tolerant plants, and access to light and air for plants.
2.
Landscaping that achieves a Green Factor score of .30 or greater, pursuant to Section 23.86.019, is required for any lot with:
a.
Development containing more than four new dwelling units; or
b.
Development, either a new structure or an addition to an existing structure, containing more than 4,000 square feet of non-residential uses; or
c.
Any use with more than 20 new parking spaces for automobiles.
3.
Landscaping for required setback areas and berms. If development standards require landscaping in setback areas or berms, each required setback area or berm shall be planted with trees, shrubs, and grass or evergreen groundcover. Features such as pedestrian access meeting the Washington State Rules and Regulations for Barrier-Free Design, decorative pavers, street furnishings, sculptures, or fountains may cover a maximum of 30 percent of each required landscaped area or berm. Landscaping shall be provided according to standards promulgated by the Director. Landscaping designed to manage storm water qualifies as required landscaping.
B.
If screening is required for specific uses in subsection 23.48.055.C, screening that is at least 3 feet tall shall be provided on the lot lines specified in subsection 23.48.055.C. Except as specified for parking located above street-level in subsection 23.48.055.C.3.c, the required screening may be provided as a fence, wall, hedge, or landscaped berm.
C.
Screening for specific uses
1.
Gas stations shall provide 3-foot-high screening along lot lines abutting all streets, except within required sight triangles.
2.
Surface parking areas
a.
Surface parking areas abutting streets. Surface parking areas shall provide 3-foot-high screening along the lot lines abutting all streets, except within required sight triangles.
b.
Surface parking areas abutting alleys. Surface parking areas shall provide 3-foot-high screening along the lot lines abutting an alley. The Director may reduce or waive the screening requirement for part or all of the lot line abutting the alley when required parking is provided at the rear lot line and the alley is necessary to provide aisle space.
3.
Parking in structures. Except as provided for by subsection 23.48.085.B, parking located at or above street level in a garage shall be screened as follows:
a.
On Class 1 and Class 2 Pedestrian Streets and Neighborhood Green Streets shown on Map A for 23.48.240, Map A for 23.48.440, Map A for 23.48.840, and Map A for 23.48.940, and on all streets in SM-U and SM-UP zones, parking is not permitted at street level unless separated from the street by other uses, provided that garage doors need not be separated. The facade of the separating uses shall be subject to the transparency and blank facade standards in Section 23.48.040.
b.
On all other streets in Seattle Mixed zones shown on Map A for 23.48.240, Map A for 23.48.440, and Map A for 23.48.840, parking is permitted at street level if at least 30 percent of the street frontage of the parking area, excluding that portion of the frontage occupied by garage doors, is separated from the street by other uses. The facade of the separating uses shall be subject to the transparency and blank facade standards in Section 23.48.040. The remaining parking shall be screened from view at street level and the street-facing facade shall be enhanced by architectural detailing, artwork, landscaping, or similar visual interest features.
c.
The perimeter of each floor of parking above street level shall have an opaque screen at least 3.5 feet high, except in the SM-SLU, SM-U, SM-UP, and SM-NG zones, where specific requirements for the location and screening of parking located on stories above the street level apply.
4.
Fences or free-standing walls associated with utility services uses may obstruct or allow views to the interior of a site. Where site dimensions and site conditions allow, applicants are encouraged to provide both a landscaped setback between the fence or wall and the right-of-way, and a fence or wall that provides visual interest facing the street lot line, through the height, design, or construction of the fence or wall, including the use of materials, architectural detailing, artwork, vegetated trellises, decorative fencing, or similar features. Any fence or free-standing wall for a utility service shall provide either:
a.
A landscaped area a minimum of 5 feet in depth between the wall or fence and the street lot line; or
b.
Architectural detailing, artwork, vegetated trellises, decorative fencing, or similar features to provide visual interest facing the street lot line, as approved by the Director.
D.
Street trees requirements
1.
Street trees are required when any development is proposed, except as provided in subsection 23.48.055.D.2 and Section 23.53.015. Existing street trees shall be retained unless the Director of Transportation approves their removal. The Director, in consultation with the Director of Transportation, will determine the number, type, and placement of street trees to be provided to:
a.
Improve public safety;
b.
Promote compatibility with existing street trees;
c.
Match trees to the available space in the planting strip;
d.
Maintain and expand the urban forest canopy;
e.
Encourage healthy growth through appropriate spacing;
f.
Protect utilities; and
g.
Allow access to the street, buildings, and lot.
2.
Exceptions to street tree requirements
a.
If a lot borders an unopened right-of-way, the Director may reduce or waive the street tree requirement along that street if, after consultation with the Director of Transportation, the Director determines that the street is unlikely to be opened or improved.
b.
Street trees are not required for any of the following:
1)
Modifying principal single-family dwelling units, except as provided in subsection 23.48.055.D.3;
2)
Changing a use, or establishing a temporary use or intermittent use;
3)
Expanding a structure by 1,000 square feet or less; or
4)
Expanding surface area parking by less than ten percent in area and less than ten percent in number of spaces.
3.
When an existing structure is proposed to be expanded by more than 1,000 square feet, one street tree is required for each 500 square feet over the first 1,000 square feet of additional structure, up to the maximum number of trees that would be required for new construction.
4.
If it is not feasible to plant street trees in a right-of-way planting strip, a 5-foot setback shall be planted with street trees along the street property line or landscaping other than trees shall be provided in the planting strip, subject to approval by the Director of Transportation. If, according to the Director of Transportation, a 5-foot setback or landscaped planting strip is not feasible, the Director may reduce or waive this requirement.
(Ord. 126821, § 4, 2023; Ord. 125792, § 5, 2019; Ord. 125791, § 61, 2019; Ord. 125432, § 11, 2017; Ord. 125267, § 23, 2017; Ord. 124883, § 13, 2015.)
A.
All permitted uses and activities are subject to the noise standards of Section 23.47A.018.
B.
All permitted uses and activities are subject to the odor standards of Section 23.47A.020.
All permitted uses are subject to the light and glare standards of Section 23.47A.022.
(Ord. 124883, § 13, 2015.)
A.
Off-street parking spaces and bicycle parking are required according to Section 23.54.015, Required parking.
B.
Loading berths shall be provided pursuant to Section 23.54.035, Loading berth requirements and space standards.
C.
Where access to a loading berth is from an alley, and truck loading is parallel to the alley, a setback of 12 feet is required for the loading berth, measured from the centerline of the alley, as shown in Exhibit D for 23.47A.014. This setback shall be maintained up to a height of 16 feet.
(Ord. 124883, § 13, 2015.)
A.
Parking accessory to non-residential uses may be provided on-site or within 800 feet of the lot to which it is accessory, according to the provisions of Section 23.54.025.
B.
Parking at street level within structures
1.
Parking located at street level in a structure is subject to the provisions of subsections 23.48.055.C.3.a and 23.48.055.C.3.b, except as provided for in subsections 23.48.085.B.2 and 23.48.085.B.3.
2.
Due to physical site conditions such as topographic or geologic conditions, parking is permitted in stories that are partially below street level and partially above street level without being separated from the street by other uses, if:
a.
The street front portion of the parking that is at or above street level does not abut a Class 1 Pedestrian Street requiring street-level uses; and
b.
The street front portion of the parking that is at or above street level, excluding garage and loading doors and permitted access to parking, is screened from view at the street level; and
c.
The street-facing facade is enhanced by architectural detailing, artwork, landscaping, stoops, and porches providing access to residential uses, or similar visual interest features.
3.
Parking is permitted in a story that is partially above street level and partially below street level in a structure permitted in a setback area under the provisions of subsection 23.48.240.C.2.b.
C.
Accessory surface parking is permitted under the following conditions, except as provided by Sections 23.48.285, 23.48.685, 23.48.785, and 23.48.885:
1.
All accessory surface parking shall be located at the rear or to the side of the principal structure.
2.
The amount of lot area allocated to accessory surface parking shall be limited to 30 percent of the total lot area, and in the SM-NG zone shall not exceed 24,000 square feet. For parking that is accessory to a use on another site, this requirement is applied to the lot on which the parking is located.
D.
Parking and loading access. If a lot abuts more than one right-of-way, the location of access for parking and loading shall be determined by the Director, depending on the classification of rights-of-way according to the following:
1.
Access to parking and loading shall be from the alley when the lot abuts an alley improved to the standards of subsection 23.53.030.C and use of the alley for parking and loading access would not create a significant safety hazard as determined by the Director.
2.
If the lot does not abut an improved alley, or use of the alley for parking and loading access would create a significant safety hazard as determined by the Director, parking and loading access may be permitted from the street. If the lot abuts more than one street, the location of access is determined by the Director, as a Type I decision, after consulting with the Director of Transportation. In SM-SLU, SM-NR, SM-U, SM-UP, and SM-NG zones abutting streets with a pedestrian or green street classification, unless the Director otherwise determines under subsection 23.48.085.D.3, access is allowed only from a right-of-way in the category preferred among the categories of rights-of-way abutting the lot, according to the ranking set forth below, from most to least preferred (a portion of a street that is included in more than one category is considered as belonging only to the least preferred of the categories in which it is included):
a.
An undesignated street;
b.
Class 2 Pedestrian Street;
c.
Class 1 Pedestrian Street;
d.
Neighborhood Green Street.
3.
The Director may allow or require access from a right-of-way other than one indicated as the preferred category in this subsection 23.48.085.D if, after consulting with the Director of Transportation, the Director finds that an exception to the access requirement is warranted. The Director shall base the decision on granting an exception on any of the following: whether and to what extent alternative locations of access would enhance pedestrian safety and comfort, facilitate transit operations, facilitate the movement of vehicles, minimize the on-street queuing of vehicles, enhance vehicular safety, or minimize hazards. Curb cut controls on designated Neighborhood Green Streets shall be evaluated on a case-by-case basis, but generally access from Neighborhood Green Streets is not allowed if access from any other right-of-way is possible.
4.
If a street or alley vacation is proposed, the Director shall consult with the Seattle Design Commission on how the location and extent of the proposed curb cuts affects or impacts the public realm and how those impacts have been reduced.
E.
Curb cut width and number
1.
Permitted access shall be limited to one two-way curb cut. In the event the site is too small to permit one two-way curb cut, two one-way curb cuts shall be permitted.
2.
Curb cut width shall satisfy the provisions of Section 23.54.030.
(Ord. 125792, § 6, 2019; Ord. 125558, § 19, 2018; Ord. 125432, § 12, 2017; Ord. 125272, § 33, 2017; Ord. 125267, § 24, 2017; Ord. 124883, § 13, 2015.)
A.
In addition to the requirements of subsection 23.48.090.B, assisted living facilities are subject to the development standards of the zone where they are located, except that density limits and amenity area requirements do not apply to assisted living facilities.
B.
Other requirements
1.
Minimum unit size. Assisted living units shall be designed to meet the minimum square footage required by WAC 388-110-140.
2.
Facility kitchen. An on-site kitchen that serves the entire assisted living facility is required.
3.
Communal area. Communal areas that are either interior or exterior spaces, such as solariums, decks and porches, recreation rooms, dining rooms, living rooms, foyers and lobbies, and gardens or other outdoor landscaped areas shall be provided as follows:
a.
The total amount of communal area shall equal at least 10 percent of the total floor area in assisted living units. In calculating the total floor area in assisted living units, all of the area of each unit, excluding the bathroom, shall be counted, including counters, closets, and built-ins;
b.
Service areas, including, but not limited to, the facility kitchen, laundry, hallways and corridors, supply closets, operations and maintenance areas, staff areas and offices, and rooms used only for counseling or medical services, shall not be counted as required communal area;
c.
A minimum of 400 square feet of the required communal area shall be provided as an outdoor area with a minimum dimension of 10 feet. Outdoor areas provided as required communal area shall be accessible to people with disabilities; and
d.
Adequate seating for residents and guests shall be provided for required communal areas.
(Ord. 124883, § 13, 2015.)
In addition to the development standards of the zone, pet daycare centers are subject to the following requirements:
A.
Pet daycare centers that were established of record before July 31, 2006, may continue notwithstanding nonconformity with development standards, provided the provisions of this Section 23.48.095 are met.
B.
The pet daycare center shall be permitted by Public Health—Seattle and King County, as required by Section 10.72.020.
C.
Facilities for the boarding of animals may occupy no more than 30 percent of the gross floor area of the pet daycare center.
D.
Required loading pursuant to Section 23.54.015 may be provided in a public right-of-way if the applicant can demonstrate to the Director, in consultation with the Director of Transportation, that pedestrian circulation or vehicle traffic will not be significantly impacted.
E.
Applicants shall submit at the time of permit application, written operating procedures, such as those recommended by the American Boarding and Kennel Association (ABKA) or the American Kennel Club (AKC). Such procedures shall be followed for the life of the business and shall prevent animal behavior that impacts surrounding uses, including excessive barking.
F.
Violations of this Section 23.48.095
1.
The exemption in subsection 25.08.500.A of the Noise Control Ordinance to uses permitted under Chapter 10.72, provisions for pet kennels and similar uses, does not apply to pet daycare centers.
2.
When a notice of violation is issued for animal noise, the Director may require the pet daycare center to submit a report from an acoustical consultant that describes potential measures to be taken by the pet daycare center to prevent or mitigate noise impacts. The Director may require measures, including but not limited to: development or modification of operating procedures; cessation of the use of outdoor area(s); closure of windows and doors; reduction in hours of operation; and use of sound attenuating construction or building materials such as insulation and noise baffles. The Director may order the pet daycare center to be closed on a temporary or permanent basis.
(Ord. 124883, § 13, 2015.)
A proposed development that meets the requirements of Section 23.42.055 may achieve additional height and FAR as provided in this Section 23.48.100.
A.
Maximum height. The applicable maximum height limit for residential uses in development permitted pursuant to Section 23.42.055 in Seattle Mixed zones is increased by the following amounts:
1.
For zones with a mapped maximum height limit of 85 feet or less, 20 feet.
2.
For zones with a mapped maximum height limit greater than 85 feet, 40 feet.
B.
Floor area. The applicable maximum FAR limit for residential uses in development permitted pursuant to Section 23.42.055 in Seattle Mixed zones is increased by the following amounts:
1.
For zones with a mapped maximum residential height limit of 85 feet or less, 1.5 FAR.
2.
For zones with a mapped maximum residential height limit greater than 85 feet, 3.0 FAR.
(Ord. 126855, § 22, 2023 [amended title]; Ord. 126384, § 8, 2021)
The provisions in Sections 23.48.205 through 23.48.285 of the SM-SLU zones are in addition to and supplement the provisions of Sections 23.48.005 through 23.48.095. In cases of conflicts between these Sections 23.48.005 through 23.48.095, the provisions in the SM-SLU zones apply.
(Ord. 124883, § 13, 2015.)
A.
Permitted uses. In the SM-SLU 85-240 zone, except for improvements to or development of new religious facilities, permitted non-residential uses are limited to a height of 20 feet above the street level of structures with residential uses and are subject to the development standards of subsection 23.48.240.C.
B.
Prohibited uses. Flexible-use parking.
C.
Required street-level uses. Within the SM-SLU 160/85-240 zone, for development meeting the standards in subsection 23.48.230.B, structures with a street-facing facade along 8th Avenue N., or located on a designated Neighborhood Green Street (Map A for 23.48.240) shall have a minimum of 10 percent of the length of the street-level portion of that street-facing facade occupied by general sales and service uses, eating and drinking establishments, or entertainment uses, that meet the development standards for required street-level uses in subsection 23.48.240.E.
A.
General provisions
1.
Except as otherwise specified in this subsection 23.48.220.A, FAR limits for specified SM zones within the South Lake Union Urban Center are as shown in Table A for 23.48.220 and Table B for 23.48.220. In the zones shown on Table A for 23.48.220, all non-exempt floor area above the base FAR is considered extra floor area. Extra floor area may be obtained, up to the maximum FAR, only through the provision of public amenities according to Section 23.48.021 and Chapter 23.58A.
2.
FAR for development including a mix of residential and non-residential uses
a.
For zones included on Table A for 23.48.220, development including a mix of non-residential uses and residential uses that do not exceed the base height limit for residential use shall:
1)
Obtain extra floor area for any chargeable non-residential floor area above the base FAR for non-residential uses as prescribed in Table A for 23.48.220; and
2)
Not exceed the lower of the maximum FAR for non-residential uses in Table A for 23.48.220 or the maximum FAR for structures that do not exceed the base height limit and include any residential use in Table A for 23.48.220.
b.
In the SM-SLU 175/85-280 zone residential uses are allowed above the residential base height limit in structures or portions of structures with non-residential uses that exceed 85 feet in height, and in the SM-SLU 240/125-440 zone, residential uses are allowed above the residential base height limit in structures or portions of structures with non-residential uses that exceed 125 feet in height if the following conditions are met:
1)
All uses are subject to the maximum FAR limit for non-residential uses in Table A for 23.48.220, and for the purposes of calculating FAR, floor area in residential use shall be included as chargeable floor area;
2)
If residential and non-residential uses are combined on the same story, the floor area limits of subsection 23.48.245.B.3 apply;
3)
Stories occupied only by residential uses may exceed the maximum height limit for non-residential uses, and all stories above the base height limit for residential use that are only occupied by residential uses are subject to the floor area limits of subsection 23.48.245.B.2 and the maximum facade width standards of subsection 23.48.245.E;
4)
Extra non-residential floor area above the base FAR for non-residential uses shown on Table A for 23.48.220 shall be obtained as provided for in Section 23.48.221; and
5)
For the purposes of applying tower separation standards in subsection 23.48.245.G, the structure shall be considered to be a residential tower.
3.
For the zones included on Table A for 23.48.220, an additional increment of FAR is permitted for non-residential uses above the base FAR of the zone if a lot meets the conditions of either subsection 23.48.220.A.3.a or subsection 23.48.220.A.3.b.
a.
An additional increment of 0.5 FAR is permitted above the base FAR if the lot includes one or more sites or structures that are subject to controls and incentives imposed pursuant to the City Landmarks Preservation Ordinance, Chapter 25.12, and subject to the following conditions:
1)
The site or structure is rehabilitated to the extent necessary so that all features and characteristics subject to those controls and incentives are in good condition and comply with applicable ordinances and Certificates of Approval issued by the Landmarks Preservation Board, all as determined by the Director of the Department of Neighborhoods;
2)
A notice is recorded with the King County Recorder's Office, in a form satisfactory to the Director, regarding the bonus allowed and the effect thereof under the terms of this Chapter 23.48;
3)
For purposes of this Section 23.48.220, a "qualifying Landmark" is a structure that:
a)
Is subject, in whole or in part, to a designating ordinance pursuant to Chapter 25.12; and
b)
Is on a lot on which no improvement, object, feature, or characteristic has been altered or removed contrary to any provision of Chapter 25.12 or any designating ordinance.
4)
A qualifying Landmark that allows for the additional increment of FAR under this subsection 23.48.220.A.3 is not eligible as a Landmark transferable development rights (TDR) or Landmark transferable development potential (TDP) sending site. For so long as any of the chargeable floor area of the increment allowed above the base FAR of the zone under this subsection 23.48.220.A.3 remains on the lot, each Landmark for which the increment was granted shall remain designated as a Landmark under Chapter 25.12 and the owner shall maintain the exterior and interior of each qualifying Landmark in good condition and repair and in a manner that preserves the features and characteristics that are subject to designation or controls by ordinance unless the Landmarks Preservation Board has issued a Certificate of Approval for the modification or demolition of the Landmark; and
5)
The amount of additional increment of FAR permitted above the base FAR under this subsection 23.48.220.A.3 is not more than the square footage of floor area in the Landmark structure(s).
b.
An additional increment of 1.2 FAR is permitted above the maximum FAR to preserve qualifying open space, subject to the following requirements:
1)
The amount of additional square footage gained from the additional increment of FAR may not exceed 128,130 square feet.
2)
The additional increment of FAR may be located on the same block as the open space or on blocks within 1,500 feet of the qualifying open space. "Qualifying open space" is open space that is a minimum of 10,000 square feet in area, that was improved as open space accessible to the public prior to November 8, 2015, and that meets the following requirements:
a)
If the additional FAR is for non-residential uses, the amount of additional floor area may not exceed the maximum amount of floor area that could be developed on the area of the lot that contains qualifying open space under subsection 23.48.220.A for a structure with non-residential uses. If the additional FAR is for residential uses, the additional floor area may not exceed the maximum amount of floor area that could be developed on the area of the lot that contains qualifying open space under subsection 23.48.220.A for a structure that does not exceed the base height limit and that includes a residential use;
b)
Floor area limits. Only 126,000 square feet of the additional floor area may be used toward achieving maximum floor area limits under subsection 23.48.245.B. The remaining 2,130 square feet may be used for aerial connections that meet the standards of subsection 23.48.245.B.4.
3)
Open space design. The applicant must provide a landscape plan to the Seattle Department of Construction and Inspections for the qualifying open space that protects all existing exceptional trees, as defined in Section 25.11.130, and existing water features. The exceptional trees and water features are deemed to be "existing" if they were present at the site of the qualifying open space on November 8, 2015. The additional FAR may be obtained only if the landscape plan is approved by the Director, whose decision is a Type I Decision.
4)
Hours open. The open space shall be open during daylight hours and accessible to the general public, without charge, for a minimum of ten hours per day, except that access may be temporarily limited as required for public safety, security, scheduled events, or maintenance. Members of the public may not be asked to leave for any reason other than conduct that unreasonably interferes with the enjoyment of the space by others, unless the space is closed to the general public consistent with this subsection 23.48.220.A.3.b.4. No parking, storage, or use other than open space may be established on or above the surface of the open space. Use of the open space by motor vehicles is prohibited except for vehicles responding to an emergency. The open space shall be clearly identified with signage placed at a visible location at each street entrance that provides access to the open space. The signage shall indicate, in letters legible to passersby, the nature of the open space, its availability for general public access, and directional information as needed.
5)
Declaration. The owner(s) of the lot where the open space is located and the lot where the additional floor area provided under this subsection 23.48.220.3.b is located shall execute and record a declaration and voluntary agreement in a form acceptable to the Director identifying the open space provided to qualify for the additional increment of FAR above the base FAR; acknowledging that the right to develop and occupy a portion of the gross floor area on the lot using the additional increment of floor area is based upon the long-term provision and maintenance of the open space and that development is restricted in the open space; and committing to provide and maintain the open space.
6)
Duration; alteration. The owners of the lot granted the additional increment of floor area above the base FAR as a result of having the open space on the lot shall provide and maintain the open space for as long as the increment of additional floor area allowed above the base FAR exists. The open space amenity allowing for the additional increment of floor area above the base FAR may be altered or removed only to the extent that an amount of chargeable floor area equal to the increment of floor area allowed above the base FAR under this subsection 23.48.220.A.3.b is:
a)
Removed or converted to a use for which extra non-residential floor area is not required under the provisions of the zone; and/or
b)
Subject to provisions for gaining extra non-residential floor area through alternative means consistent with the provisions of the zone and provisions for allowing extra non-residential floor area in Chapter 23.58A. Alteration or removal of the open space may be further restricted by the provisions of the zone and by conditions of any applicable permit.
4.
In the SM-SLU 85/65-160 zone on the blocks bounded by Valley Street, Mercer Street, Westlake Avenue North, and Fairview Avenue North, hotel use is permitted above 85 feet in height and is subject to the same provisions as residential use exceeding the base height limit for residential use, provided that all development standards that apply to a residential tower also apply to the hotel use, including the provisions of Section 23.48.221 for gaining extra residential floor area.
5.
In the SM-SLU 100/65-145, SM-SLU 85/65-160, SM-SLU 175/85-280, SM-SLU 85-280, and SM-SLU 240/125-440 zones within South Lake Union Urban Center, for residential tower structures that have only non-residential uses up to or above the base height limit for residential uses, the FAR limits for all non-residential uses in the structure are the same as the FAR limits specified for non-residential uses in Table A for 23.48.220.
6.
In all SM-SLU zones, except SM-SLU/R 65/95, SM-SLU 100/95, and SM-SLU 145 zones, a development that includes a residential structure or a portion of a structure as a residential tower is exempt from FAR requirements as to that structure or portion of a structure, and the FAR limits for permitted non-residential uses in that structure or portion of a structure shall be applied based on the lot area required for the residential tower development, to meet the upper-level floor area limit of subsection 23.48.245.A. The FAR limits for the remainder of the development shall be applied based on an assumed lot area of the total lot area minus the lot area required for the portion of the development that is a residential tower.
7.
Within the area in the SM-SLU 175/85-280 zone meeting the standards for location in subsection 23.48.230.B, structures designed for research and development laboratory use and administrative office associated with research and development laboratories have a base FAR of 5 and a maximum FAR of 8, provided that the maximum number of floors allowed above grade is eight, measured from the floor with the lowest elevation above grade, but not including rooftop projections.
B.
The following floor area is exempt from FAR calculations:
1.
The floor area contained in a Landmark structure subject to controls and incentives imposed by a designating ordinance if the owner of the Landmark has executed and recorded an agreement acceptable in form and content to the Landmarks Preservation Board providing for the rehabilitation and maintenance of the historically significant features of the structure including but not limited to a Certificate of Approval for the modification of the Landmark. This exemption does not apply to a lot from which a Landmark TDP or TDR has been transferred under Chapter 23.58A and does not apply for purposes of determining TDR or TDP available for transfer under Chapter 23.58A.
2.
Street-level uses identified in subsection 23.48.005.D, whether required or not, and that meet the development standards of Section 23.48.240; except that at locations meeting the conditions of Section 23.48.230, only gross floor area at street level that is a general sales and service, eating and drinking establishment, or entertainment use is exempt.
3.
All residential use in a residential tower and podium within the required lot area that includes the podium portion of the tower in the SM-SLU 100/65-145, SM-SLU 85/65-160, SM-SLU 175/85-280, SM-SLU 85-280, and SM-SLU 240/125-440 zones, except residential use in a mixed-use project under the provisions of subsection 23.48.220.A.2.b.
4.
In the SM-SLU 85/65-160 zone on the blocks bounded by Valley Street, Mercer Street, Westlake Avenue North, and Fairview Avenue North, all floor area in hotel use pursuant to subsection 23.48.220.A.4.
5.
Floor area in child care use and elementary and secondary schools.
(Ord. 126821, § 7, 2023; Ord. 126157, § 30, 2020; Ord. 125927, § 2, 2019; Ord. 125603, § 33, 2018; Ord. 125291, § 4, 2017; Ord. 125272, § 34, 2017; Ord. 124883, § 13, 2015.)
A.
Calculation outside of an adopted Local Infrastructure Project Area
1.
Means to achieve extra residential floor area. If the maximum height limit for residential use is greater than 85 feet and the lot is located in the South Lake Union Urban Center, the applicant shall:
a.
achieve 60 percent of the extra residential floor area on the lot by using bonus residential floor area for affordable housing pursuant to Section 23.58A.014; and
b.
achieve 40 percent of the extra residential floor area by using open space TDP or Landmark TDP pursuant to subsection 23.48.221.A and Section 23.58A.042.
2.
Means to achieve extra non-residential floor area. If the maximum height limit for non-residential use is greater than 85 feet and the lot is located in the South Lake Union Urban Center, the applicant shall:
a.
achieve 75 percent of the extra non-residential floor area on the lot by using bonus non-residential floor area for affordable housing and child care pursuant to Section 23.58A.024, or housing TDR pursuant to subsection 23.48.221.B and Section 23.58A.042, or both.
b.
achieve 25 percent of the extra non-residential floor area by using open space TDR pursuant to Chapter 23.84A or Landmark TDR pursuant to subsection 23.48.221.A and Section 23.58A.042.
B.
Standards for TDP and TDR
1.
All lots in the South Lake Union Urban Center that meet the definition of a TDR or TDP sites in Chapter 23.84A are eligible for transfer.
2.
Receiving sites in the South Lake Union Urban Center may only receive TDP or TDR from sending sites in the South Lake Union Urban Center except that receiving sites in the South Lake Union Urban Center may receive Landmark or open space TDP or TDR from sending sites in Downtown or South Downtown if the applicant demonstrates to the satisfaction of the Director that no private or public entities are offering such TDP or TDR for sale in the South Lake Union Urban Center, at a price per square foot no greater than the fee-in-lieu rates for the payment option for affordable housing under Section 23.58A.014 for TDP and the payment option for affordable housing and child care under Section 23.58A.024 for TDR.
3.
A cumulative combination of TDR and TDP exceeding a total of five times the lot area may not be transferred from any lot.
C.
Minimum requirement. The applicant shall make a commitment that the proposed development will meet the green building standard and shall demonstrate compliance with that commitment, all in accordance with Chapter 23.58D.
The provisions of Chapters 23.58B and 23.58C apply in all SM-SLU zones, except SM-SLU 85/65-160 zones.
(Ord. 125291, § 3, 2017.)
A.
Base and maximum height limits
1.
In zones listed below in this subsection 23.48.225.A.1, the applicable height limit for portions of a structure that contain non-residential and live-work uses is shown as the first figure after the zone designation and the base height limit for portions of a structure in residential use is shown as the first figure following the "/". The third figure shown is the maximum residential height limit. Except as stated in Section 23.48.025, the base residential height limit is the applicable height limit for portions of a structure in residential use if the structure does not gain extra residential floor area under the provisions of Chapter 23.58A, and the maximum residential height limit is the height limit for portions of a structure in residential use if the structure includes extra floor area under the provisions of Chapter 23.58A:
SM-SLU 100/65-145
SM-SLU 85/65-160
SM-SLU 175/85-280
SM-SLU 240/125-440
2.
In the SM-SLU 85/65-160 zone on the blocks bounded by Valley Street, Mercer Street, Westlake Avenue North, and Fairview Avenue North, hotel use is permitted above 85 feet in height and is subject to the same provisions as residential use exceeding the base height limit for residential use, provided that all development standards that apply to a residential tower also apply to the hotel use, including the provisions of Section 23.48.221 for gaining extra residential floor area.
3.
In the SM-SLU 85-280 zone, except as stated in subsections 23.48.225.C and 23.48.225.F, the base height limit is the applicable height limit for portions of a structure if the structure does not gain extra residential floor area under the provisions of Chapter 23.58A, and the maximum residential height limit is the height limit for portions of a structure in residential use if the structure includes extra residential floor area under the provisions of Chapter 23.58A, and if the structure complies with the standards for residential tower development in this Chapter 23.48.
4.
In the SM-SLU 100/95 zone, the maximum height for portions of a structure in non-residential or live-work use is 100 feet and the maximum height limit for portions of a structure in residential use is 95 feet.
5.
In the SM-SLU 145 zone, the maximum height for all uses is 145 feet.
B.
Height limits in the SM-SLU/R 65/95 zone
1.
New structures occupied only by non-residential uses are subject to a height limit of 65 feet.
2.
Structures occupied only by residential uses and mixed-use structures with 60 percent or more of the structure's gross floor area in residential use are subject to a height limit of 95 feet.
C.
Additional height permitted in the SM-SLU 175/85-280 and SM-SLU 85-280 zones
1.
Increases in the maximum height limit in the SM-SLU 175/85-280 and SM-SLU 85-280 zones. In the SM-SLU 175/85-280 and SM-SLU 85-280 zones a structure is allowed additional height of up to 30 percent above the maximum height limit for residential uses and, in the SM-SLU 175/85-280 zone, up to 20 percent above the height limit for non-residential uses, if all of the following conditions are met:
a.
The project includes an elementary school or a kindergarten through eighth grade school, which may include minimum space requirements for associated uses but not limited to academic core functions, child care, administrative offices, a library, maintenance facilities, food service, and specialty instruction space;
b.
Prior to issuance of a Master Use Permit, the applicant shall submit a letter to the Director from the school indicating that, based on the Master Use Permit plans, the school district has determined that the development could meet the operator's specifications;
c.
Prior to issuance of a building permit, the applicant shall submit a written certification by the operator to the Director that the operator's specifications have been met;
d.
The amount of floor area allowed to exceed the applicable height limit is equivalent to the amount of enclosed floor area on the lot in school use;
e.
The floor area added through the increase in height is subject to the development standards in Sections 23.48.235 and 23.48.240 that apply to structures that exceed the base height for residential use or the applicable podium height for non-residential uses;
f.
The floor area allowed to exceed the maximum residential height limit is not subject to the provisions for gaining extra residential floor area in Chapter 23.58A; should the school use be discontinued, floor area gained through the provisions of this Section 23.48.225 shall be subject to the provisions of Chapter 23.58A; and
g.
The allowances for rooftop features in subsection 23.48.025.B shall apply to the above structure height permitted under this subsection 23.48.225.C.
2.
Additional height above the applicable height limit for portions of a structure that contain non-residential and live-work uses is permitted in the SM-SLU 175/85-280 zone at locations and under the conditions specified in Section 23.48.230.
3.
Extra residential floor area above the base height limit for residential use may be obtained as provided in Section 23.48.221.
4.
In the SM-SLU 175/85-280 zone, additional height above the applicable height limit, as described below, for up to two non-residential towers on one block is permitted if the tower or towers meet the following requirements.
a.
If a non-residential tower is developed, the tower closer to the eastern block front may be up to 190 feet in height.
b.
If a residential tower is developed, one residential tower on the northwest quadrant of the block may be up to 440 feet including a podium up to 125 feet.
c.
Rooftop features comply with subsection 23.48.025.C, which applies to the additional structure height permitted under this subsection 23.48.225.C.4.
d.
The additional height is to accommodate an additional increment of floor area provided in subsection 23.48.220.A.3.b.
D.
In the SM-SLU 175/85-280, SM-SLU 240/125-440, and SM-SLU 85-280 zones, an additional 10 feet in height is permitted above the otherwise applicable maximum height limit for residential uses for a structure that includes residential dwelling units that comply with all of the following conditions:
1.
Unit number and size. The structure includes a minimum of ten dwelling units that each have a minimum area of 900 gross square feet and include three or more bedrooms; and
2.
Amenity area. Each dwelling unit shall have access to an outdoor amenity area that is located on the same story as the dwelling unit and meets the following standards:
a.
The amenity area has a minimum area of 1300 square feet and a minimum horizontal dimension of 20 feet; and
b.
The amenity area must be common amenity area, except that up to 40% of the amenity area may be private provided that the private and common amenity area are continuous and are not separated by barriers more than 4 feet in height; and the private amenity areas are directly accessible from units meeting these requirements; and
c.
The common amenity area includes children's play equipment; and
d.
The common amenity area is located at or below a height of 85 feet.
E.
A proposal to build a structure greater than 85 feet in height in the SM-SLU 85/65-160 and SM-SLU 175/85-280 zones and located north of Mercer Street and West of Fairview Avenue within the South Lake Union Urban Center, requires the applicant to show that the proposed structure height will not physically obstruct use of the flight path shown on Map A for 23.48.225 or endanger aircraft operations.
F.
All non-exempt floor area and residential floor area located above the base height is considered extra floor area. Extra floor area may be obtained above the base height, up to the maximum height, through the provision of public amenities meeting the standards of Section 23.48.021 and Chapter 23.58A, except that floor area allowed through subsection 23.48.220.A.3.b is exempt from requirements to acquire regional development credits under 23.48.021.C.1.b and 23.48.021.C.2.b. In addition to the requirement to provide public amenities pursuant to Section 23.48.021 and Chapter 23.58A, the extra floor area may be obtained only if the project provides affordable housing and child care pursuant to subsection 23.48.021.C.1.a and 23.48.021.C.2.a.
Map A for 23.48.225
South Lake Union Seaport Flight Corridor
(Ord. 127099, § 27, 2024; Ord. 126157, § 31, 2020; Ord. 125927, § 3, 2019; Ord. 125603, § 34, 2018; Ord. 125291, § 6, 2017; Ord. 124883, § 13, 2015.)
A.
Applicability and general provisions. For structures in the SM-SLU 175/85-280 zone designed for research and development laboratory use and administrative office associated with research and development laboratories, structures that do not exceed a height of 120 feet are not subject to the floor area limits of subsection 23.48.245.B, provided the project complies with all the requirements of this Section 23.48.230. In order for a structure to qualify for the exemption from the floor area limit, at least one complete MUP application for a structure on the same block that has been permitted to extend up to a height of 120 feet without floor area limits shall be filed within nine months of February 17, 2010.
B.
Location. A structure may be exempt from floor area limits of subsection 23.48.245.B if the structure is located on a block that is:
1.
Designated SM-SLU 175/85-280;
2.
Bounded by arterial-designated streets on at least two sides;
3.
Greater than 60,000 square feet in size and does not exceed 100,000 square feet in size; and
4.
Not bisected by an alley or other public right-of-way.
C.
Street-level uses. Street-level uses shall be provided as required by subsection 23.48.205.C.
D.
The applicant shall make a commitment that the proposed development will meet the green building standard and shall demonstrate compliance with that commitment, all in accordance with Chapter 23.58D.
E.
Open space. A minimum of 20 percent of the lot area shall be usable open space. The purpose of the open space shall be to allow for public seating, passive recreation, and a mid-block pedestrian connection. For a multi-phase project, the open space requirement and the other requirements in this subsection 23.48.230.E shall be calculated and applied to the total project. The following standards apply to open space required under this subsection 23.48.230.E:
1.
The open space shall be open during daylight hours and accessible to the general public, without charge, for a minimum of ten hours per day, except that access may be temporarily limited as required for public safety, security, scheduled events, or maintenance reasons. Members of the public may not be asked to leave for any reason other than conduct that unreasonably interferes with the enjoyment of the space by others, unless the space is closed to the general public consistent with this subsection 23.48.230.E.1. No parking, storage, or other use may be established on or above the surface of the open space except as provided in this subsection 23.48.230.E. Use of the open space by motor vehicles is prohibited. The open space shall be clearly identified with signage placed at a visible location at each street entrance providing access to the open space. The signage shall indicate, in letters legible to passersby, the nature of the open space, its availability for general public access, and directional information as needed.
2.
The open space shall contain at least one contiguous area with a minimum of 3,000 square feet and a minimum horizontal dimension of 10 feet.
3.
A minimum of 35 percent of the open space shall be landscaped with grass, ground cover, bushes, and/or trees.
4.
The open space shall include seating in an amount equivalent to either one lineal foot of permanent seating or two movable chairs for every 200 square feet of open space during hours of public access.
5.
The open space shall be located and configured to provide easy access from streets or other abutting public spaces and convenient pedestrian circulation through the open space. The open space shall have a minimum frontage of 30 feet at grade abutting a sidewalk, and be visible from sidewalks on at least one street.
6.
The open space shall be provided at ground level, except that some separation of multiple levels may be allowed, provided they are physically and visually connected.
7.
Up to 20 percent of the open space may be covered by features accessory to public use of the open space, including: permanent, freestanding structures, such as retail kiosks, pavilions, or pedestrian shelters; structural overhangs; overhead arcades or other forms of overhead weather protection; and any other features approved by the Director that contribute to pedestrian comfort and active use of the space. The following features within the open space area may count as open space: areas for temporary kiosks and pavilions, public art, water features, permanent seating that is not reserved for any commercial use, exterior stairs and mechanical assists that provide access to the open space and are available for public use, and any similar features approved by the Director. Seating or tables, or both, may be provided and reserved for customers of restaurants or other uses abutting the open space, however, the area reserved for customer seating shall not exceed 15 percent of the open space area or 500 square feet, whichever is less.
8.
Public art shall be included in the public open space. The artwork may include but need not be limited to water features, or two or three-dimensional works in all media. The artwork shall be clearly visible to people using the open space, and, wherever possible, should be visible from the abutting streets. The property owner is responsible for maintaining all art features for the life of the buildings on the lot.
F.
Transportation Management Program (TMP). The Master Use Permit application shall include a TMP for non-residential development consistent with requirements for TMPs in the applicable Director's Rule. The TMP shall be approved by the Director only if, after consulting with the Director of Transportation, the Director determines that no more than 40 percent of trips to and from the project will be made using single-occupant vehicles (SOVs).
1.
For purposes of measuring attainment of SOV goals contained in the TMP, the number of SOV trips shall be calculated for the p.m. hour in which an applicant expects the largest number of vehicle trips to be made by employees at the site (the p.m. peak hour of the generator).
2.
Compliance with this Section 23.48.230 does not affect the responsibility of any employer to comply with Seattle's Commute Trip Reduction (CTR) Ordinance.
(Ord. 125291, § 7, 2017; Ord. 125163, § 10, 2016; Ord. 124883, § 13, 2015.)
A.
In a SM-SLU 175/85-280 zone located in the South Lake Union Seaport Flight Corridor as shown on Map A for 23.48.225, the following apply:
1.
The following modifications shall occur if the height limit according to subsection 23.48.225.E would prevent a development from being able to achieve the maximum height that would otherwise be allowed according to subsection 23.48.225.A:
a.
The upper-level floor area limit according to subsection 23.48.245.A shall be increased from 50 percent to 55 percent, except that for lots less than 12,500 square feet the upper-level floor area limit according to subsection 23.48.245.A shall be increased from 50 percent to 67 percent;
b.
The non-residential floor plate limits according to subsection 23.48.245.B.1.d shall be increased from 24,000 to 25,000 square feet;
c.
The residential floor plate limits according to subsection 23.48.245.B.2.a shall be increased from 12,500 to 13,500 square feet; and
d.
The residential floor plate limits according to subsection 23.48.245.B.2.b.1 shall be increased from 10,500 to 11,500 square feet.
2.
The height above which a development is a tower according to Section 23.48.245 and the base height for purposes of calculating extra floor area shall be increased from 85 feet to 95 feet if:
a.
Either:
1)
The requirements of subsections 23.48.245.C through 23.48.245.G would not permit a tower on the site or would prevent a development from being able to achieve the upper-level floor area limit and the floor plate limits as increased according to subsection 23.48.231.A.1; or
2)
The requirements of subsections 23.48.245.A through 23.48.245.G would prevent a development from being able to achieve an average tower floor plate of at least 7,500 square feet for floors above the podium height; and
b.
The height of the development does not exceed 95 feet, excluding all rooftop features described in subsection 23.48.025.C.
B.
In a SM-SLU 175/85-280 zone located outside the South Lake Union Seaport Flight Corridor as shown on Map A for 23.48.225 or in a SM-SLU 85-280 zone, the height above which a development is a tower according to Section 23.48.245 and the base height for purposes of calculating extra floor area shall be increased from 85 feet to 95 feet if:
1.
The requirements of subsections 23.48.245.A through 23.48.245.G would not permit a tower on the site or would prevent a development from being able to achieve an average tower floor plate of at least 7,500 square feet for floors above the podium height; and
2.
The height of the development does not exceed 95 feet, excluding all rooftop features described in subsection 23.48.025.C; and
3.
The development meets the upper-level setback requirements of Section 23.48.235.
C.
In a SM-SLU 240/125-440 zone, the height above which a development is a tower according to Section 23.48.245 and the base height for purposes of calculating extra floor area shall be increased from 125 feet to 135 feet if:
1.
The requirements of subsections 23.48.245.A through 23.48.245.G would not permit a tower on the site or would prevent a development from being able to achieve an average tower floor plate of at least 7,500 square feet for floors above the podium height;
2.
The height of the development does not exceed 135 feet, excluding all rooftop features described in subsection 23.48.025.C; and
3.
The development meets the upper-level setback requirements of Section 23.48.235.
D.
In a SM-SLU 100/65-145 zone, the height above which a development is a tower according to Section 23.48.245 and the base height for purposes of calculating extra floor area shall be increased from 65 feet to 75 feet if:
1.
The requirements of subsections 23.48.245.A through 23.48.245.G would not permit a tower on the site or would prevent a development from being able to achieve an average tower floor plate of at least 7,500 square feet for floors above the podium height; and
2.
The height of the development does not exceed 75 feet, excluding all rooftop features described in subsection 23.48.025.C.
(Ord. 126600, § 8, 2022; Ord. 125603, § 35, 2018; Ord. 125291, § 8, 2017)
A.
Development with non-residential uses only, except hotels with 100 rooms/suites or fewer, is limited to a lot area of 21,600 square feet or less.
B.
Development on lots greater than 21,600 square feet in area shall include residential use in an amount of gross floor area equal to 60 percent or more of the gross floor area in non-residential use, except for development that is an elementary or secondary school, or a hotel with 100 rooms/suites or fewer.
C.
Two lots of up to 21,600 square feet each, separated by an alley and connected above grade by a skybridge or other similar means shall be considered two separate lots for the purposes of this Section 23.48.232. Such a connection above grade and across the alley may be allowed pursuant to the City Council's approval of an aerial alley vacation or temporary use permit.
D.
Non-residential structures on adjacent lots not separated by an alley, subject to this Section 23.48.232, shall not be internally connected.
E.
Non-residential uses existing prior to November 6, 1996, that do not meet the requirements of this Section 23.48.232 are allowed to expand by an amount of gross floor area not to exceed 20 percent of the existing gross floor area, without meeting the requirements of this Section 23.48.232. This provision may only be used once for an individual use.
F.
Non-residential use exception. A non-residential structure may be permitted where a residential or mixed-use structure would otherwise be required, subject to the following:
1.
The project is comprised of two or more lots within a SM-SLU/R 65/95 zone; and
2.
The amount of gross floor area in residential use in the structures on both lots is equal to at least 60 percent of the total gross floor area of the total combined development on the lots included in the project; and
3.
The non-residential structure is subject to design review to ensure compatibility with the residential character of the surrounding area; and
4.
The project meets one or more of the following:
a.
The project includes the rehabilitation of a Landmark structure or incorporates structures or elements of structures of architectural or historical significance as identified in the Seattle Comprehensive Plan or design guidelines; or
b.
The project includes general sales and service uses, eating and drinking establishments, major durables retail sales uses, entertainment uses, human service uses, or child care centers at the street level in an amount equal to 50 percent of the structure's footprint; or
c.
On the lot(s) accommodating the required amount of gross floor area in residential use, as specified in subsection 23.48.232.F.2, a minimum of ten percent of all new units in the project are either provided as moderate-income units or townhouses.
(Ord. 126855, § 23, 2023; Ord. 125291, § 9, 2017; Ord. 124883, § 13, 2015.)
A.
The following requirements for upper-level setbacks in this subsection 23.48.235.A apply to structures on lots abutting a street shown on Map A for 23.48.235, except for those structures with non-residential uses above 85 feet in height or residential uses above the base height limit for residential use, which are subject to the upper-level setback requirements of subsection 23.48.245.C.
1.
For all zones except the SM-SLU 240/125-400 zone, any portion of a structure greater than 45 feet in height is required to set back from a lot line abutting a street shown on Map A for 23.48.235. In the SM-SLU 240/125-400 zone, portions of a structure greater than 75 feet in height are required to set back from a lot line abutting a street shown on Map A for 23.48.235.
2.
A setback of 1 foot for every 2 additional feet of height is required for any portion of a structure exceeding the maximum height permitted without a setback according to subsection 23.48.235.A.1, up to a maximum setback of 15 feet measured from the street lot line, as shown in Exhibit A for 23.48.235.
Map A for 23.48.235
Upper-Level Setbacks
B.
Upper-level setbacks in the SM-SLU 85/65-160 zone. The following requirements for upper-level setbacks in this subsection 23.48.235.B apply to all development in the SM-SLU 85/65-160 zone on the blocks bounded by Valley Street, Mercer Street, Westlake Avenue North, and Fairview Avenue North as shown in Exhibit B for 23.48.012:
1.
Portions of a structure above 45 feet in height shall set back a minimum of 15 feet from street lot lines abutting Valley Street, Westlake Avenue North, Terry Avenue North, Boren Avenue North, and Fairview Avenue North as shown in Exhibit B for 23.48.235.
2.
In addition to the upper-level setbacks specified in subsection 23.48.235.B.1, additional upper-level setbacks are required for tower structures that include residential use above the base height limit for residential use, or hotel use above a height of 85 feet, according to the provisions of subsection 23.48.245.C.3.
Exhibit A for 23.48.235
Stepped Upper-Level Setbacks
Exhibit B for 23.48.235
Upper-Level Setback from Specified Streets in SM-SLU 85/65-160 Zone
C.
Upper-level setbacks on alleys in the SM-SLU/R 65/95 zone. For lots abutting an alley in the SM-SLU/R 65/95 zone, portions of a structure greater than 25 feet in height shall set back a minimum of 1 foot from the alley lot line for every 2 feet of additional height above 25 feet, up to a maximum setback of 15 feet measured from the alley lot line, as shown in Exhibit A for 23.48.235.
D.
Projections permitted in required upper-level setbacks. Horizontal projections, including decks, balconies with open railings, eaves, cornices, and gutters are permitted to extend a maximum of 4 feet in required setbacks as shown in Exhibit C for 23.48.235.
Exhibit C for 23.48.235
Horizontal Projection into Upper-level Setbacks
A.
Street-level development standards in Section 23.48.040 apply to all streets in SM-SLU zones designated as Class 1 Pedestrian Streets, Class 2 Pedestrian Streets, or Neighborhood Green Streets as shown on Map A for 23.48.240.
B.
General facade requirements
1.
Permitted setbacks from street lot lines. Except on lots subject to the provisions of subsection 23.48.240.C, the street-facing facades of a structure are permitted to set back from the street lot line as follows:
a.
The street-facing facades of structures abutting Class 1 Pedestrian Streets, as shown on Map A for 23.48.240, shall be built to the street lot line for a minimum of 70 percent of the facade length, provided that the street frontage of any required outdoor amenity area, or other required open space, or usable open space provided in accordance with subsections 23.48.240.E, 23.48.240.F, or 23.48.245.B.4.c is excluded from the total amount of frontage required to be built to the street lot line (Exhibit A for 23.48.240).
Exhibit A for 23.48.240
Percentage of facade at lot line
Map A for 23.48.240
Pedestrian Street Classifications in South Lake Union
b.
Except on Class 1 Pedestrian Streets, as shown on Map A for 23.48.240, and as specified in subsection 23.48.240.B.1, the street-facing facade of a structure may be set back up to 12 feet from the street lot line subject to the following (Exhibit B for 23.48.240):
1)
The setback area shall be landscaped according to the provisions of subsection 23.48.055.A.3;
2)
Additional setbacks are permitted for up to 30 percent of the length of portions of the street-facing facade that are set back from the street lot line, provided that the additional setback is located 20 feet or more from any street corner; and
3)
Any required outdoor amenity area, or other required open space, or usable open space provided in accordance with subsections 23.48.240.E, 23.48.240.F, or 23.48.245.B.4.c is not considered part of the setback area and may extend beyond the limit on setbacks from the street lot line that would otherwise apply under subsections 23.48.240.B.1.b.1 or 23.48.240.B.1.b.2.
Exhibit B for 23.48.240
Street-Level Setbacks
C.
Facade requirements in the SM-SLU 85-240 zone. In addition to the provisions of subsection 23.48.040.A, except for religious facilities, the following standards apply in the SM-SLU 85-240 zone:
1.
Required street-facing facade setback for residential uses
a.
All street-facing facades along 8 th Avenue North, except those portions occupied by permitted non-residential uses and subject to the provisions of subsection 23.48.240.C.2, are required to set back an average of 10 feet from the street lot line, provided that no setback shall be less than 5 feet from the street lot line, and any setback area further than 15 feet from the street lot line shall not be included in the averaging calculation.
b.
The setback requirement of this subsection 23.48.240.C.1 does not apply to the following:
1)
Portions of the street-facing facade that are located no more than 40 feet from a street corner; and
2)
Portions of the structure that are partially below grade and meet the following conditions:
a)
The roof of the partially below-grade portion of the structure in the setback area is no more than 4 feet above existing or finished grade, whichever is lower;
b)
The surface of the roof is used for private access or amenity area for abutting units; and
c)
A landscaped area a minimum of 2 feet in depth measured from the abutting street lot line is maintained at grade level.
c.
Only ground-related residential units and floor area for building lobbies for residential uses are permitted within the portion of the story of the structure abutting the required setback area, and each unit or lobby area is required to have direct access to the required setback area.
d.
The street-level facade of lobby area abutting the required setback shall not exceed a width equivalent to 20 percent of the total width of the required setback measured along 8 th Avenue North.
e.
Private amenity area, unenclosed stoops, steps, or porches related to the abutting, ground-related residential units or common amenity area with access to residential lobbies shall be provided within the required setback area.
f.
Bay windows, canopies, horizontal projection of decks, balconies with open railings, eaves, cornices, gutters, and other similar architectural features are permitted to extend no more than 4 feet into required setbacks.
g.
Driveways providing access to parking within a structure are not permitted within the required setback area.
2.
Development standards for non-residential uses other than improvements to or development of new religious facilities. Non-residential uses are permitted on the ground floor of mixed-use structures, subject to the following:
a.
Non-residential uses are not permitted to extend more than 20 feet above the street-level.
b.
Non-residential uses are only permitted on corner portions of the lot that are within 20 lineal feet of intersecting street lot lines.
D.
Additional requirements in the SM-SLU 85/65-160 zone on the blocks bounded by Valley Street, Mercer Street, Westlake Avenue North, and Fairview Avenue North. Street-level facades on that portion of Terry Avenue between Mercer Street and Valley Street shall be set back an average of 10 feet from the lot line. In addition all street-level facades on Valley Street within 50 feet of Terry Avenue shall be set back an average of 50 feet from the lot line. For the purposes of the standards in Chapter 23.48, the Class 1 Pedestrian Street classification on Terry Avenue North as depicted on Map A for 23.48.240, extends 120 feet south of Valley Street.
E.
Development standards for required street-level uses. In addition to street-level uses required by subsection 23.48.005.D, and street-level uses exempt from FAR calculations under the provisions of subsection 23.48.220.B.2, structures with a street-facing facade along 8th Avenue N., located on blocks identified pursuant to subsection 23.48.230.B, the minimum street frontage of required street-level uses is 10 percent of that street-facing facade. The remaining street frontage at street level may contain other permitted uses and/or pedestrian or vehicular entrances. The frontage of any outdoor common amenity area required for residential uses or other required open space shall not be counted in street frontage.
F.
Required open area in the SM-SLU 85/65-160 zone. In the SM-SLU 85/65-160 zone on the blocks bounded by Valley Street, Mercer Street, Westlake Avenue North, and Fairview Avenue North, a minimum of 20 percent of the lot area shall be provided as open area that is located and configured to allow easy pedestrian access to project occupants from streets or other abutting public spaces, including access for persons with disabilities. The open area shall include the following:
1.
A minimum of 60 percent of the required open area shall be provided as usable open space that meets the following conditions:
a.
The usable open space is open from the ground to the sky and is visible and accessible to pedestrians from an abutting street, including persons with disabilities;
b.
The open space is substantially at street level, although portions are permitted to be within 4 feet of street level, provided that grade changes are gradual and do not significantly disrupt the continuity of the space, and no part of the open space is significantly above or below the grade of the nearest abutting street;
c.
The open space has a minimum horizontal dimension of 15 feet; and
d.
The open space enhances visual and physical pedestrian connections between South Lake Union Park and development on the lot, and is accessible to the public, free of charge, during the hours of operation of South Lake Union Park.
2.
At the applicant's option, up to 40 percent of the required open area may be provided as any combination of:
a.
A woonerf that serves as a through-block pedestrian passageway and that satisfies the following:
1)
The passageway is open to the sky, has a minimum width of 20 feet, and provides a direct and continuous connection between the north/south avenues abutting the lot;
2)
The passageway is designed to provide safe pedestrian use, including a clear pathway demarcated as a priority pedestrian zone; and
3)
The passageway is adequately lit and available for pedestrian use 24 hours every day.
b.
Open areas with a horizontal dimension that is less than 15 feet abutting a street lot line if one or more of the following conditions are met:
1)
An area abutting a sidewalk that extends the pedestrian area onto the lot to accommodate additional streetscape amenities, such as landscaping, street furniture, special lighting, public art, or extensions of right-of-way green factor treatments;
2)
Setback areas abutting the street with a maximum depth of 10 feet that provide private usable open space, stoops, terraces, and/or landscaping for abutting ground level dwelling units that have direct access to the setback area, provided that the total amount of such setback areas does not exceed half of the 40 percent portion of the open area allowed by this subsection 23.48.240.F.2; or
3)
Additional sidewalk areas created by extending the curbline into the abutting street right-of-way that are improved with such streetscape amenities as landscaping, street furniture, special lighting, public art, or extensions of right-of-way green factor treatments.
c.
Usable elevated open space up to a maximum of 45 feet above street level, and that meets the following:
1)
At least 50 percent of the perimeter of the elevated open space is not enclosed by a facade and is open and oriented to provide views of South Lake Union Park; and
2)
The minimum horizontal dimension of the open space is 15 feet.
d.
No more than 50 percent of the open areas allowed pursuant to this subsection 23.48.240.F.2 shall be:
1)
Located more than 4 feet above street level; and
2)
Comprised of unenclosed covered areas, such as arcades or areas beneath building overhangs or overhead weather protection attached to abutting facades that abut sidewalks or pedestrian paths across the lot, or freestanding pavilions or kiosks that provide overhead weather protection.
3.
When authorized by the Director as a Type I decision pursuant to this subsection 23.48.240.F, lots within the SM-SLU 85/65-160 zone on the blocks bounded by Valley Street, Mercer Street, Westlake Avenue North, and Fairview Avenue North, may be combined, whether contiguous or not, for the purpose of allowing the open area required on a lot by this subsection 23.48.240.F to be met on one or more other lots within the SM-SLU 85/65-160 zone on the blocks bounded by Valley Street, Mercer Street, Westlake Avenue North, and Fairview Avenue North, according to the following provisions:
a.
The Director shall allow lots to be combined to meet open area requirements if the Director determines that the combined amount of open area on all lots meets or exceeds the minimum amount required by subsection 23.48.240.F.1, and that the added flexibility will achieve better open space conditions, as indicated by the following:
1)
The open area in general will provide for a better relationship between the development on the combined lots and South Lake Union Park;
2)
The added flexibility will allow for better integration of open space and surrounding development and improve accessibility among the blocks in the SM-SLU 85/65-160 zone on the blocks bounded by Valley Street, Mercer Street, Westlake Avenue North, and Fairview Avenue North and adjacent areas;
3)
A greater diversity of open space will be achieved for the area;
4)
Greater public use of the open space will be encouraged;
5)
The flexibility would result in open spaces that are more substantial is size and/or more adaptable to a greater variety of uses, or that establish a more significant neighborhood focal point than would otherwise likely occur; and/or
6)
The open space provided will enhance urban form by promoting better massing, more usable open spaces with increased solar access, enhanced views within and through the site, and other improved conditions.
b.
Prior to issuance of a Master Use Permit for any development that relies on one or more other lots within the SM-SLU 85/65-160 zone on the blocks bounded by Valley Street, Mercer Street, Westlake Avenue North, and Fairview Avenue North to meet the open area requirements of this subsection 23.48.240.F, the fee owners of both the property subject to the Master Use Permit and the lot(s) utilized to meet open area requirements for the Master Use Permit shall execute an appropriate agreement or instrument that is recorded in the King County real property records that:
1)
Includes the legal description of each lot;
2)
Acknowledges the specific extent to which the open space standards are met through a combination of the lots;
3)
Provides that its covenants and conditions shall run with the land and shall be specifically enforceable by the parties and by the City of Seattle; and
4)
Provides that the agreement or instrument shall be in effect unless the Master Use Permit expires, is cancelled, is withdrawn by the applicant, or the development allowed by the Master Use Permit no longer requires the other lot(s) in order to meet the open area requirements of this subsection 23.48.240.F.
4.
Usable open space provided under this subsection 23.48.240.F qualifies as either amenity area for residential uses under Section 23.48.045 or open space required for office use under Section 23.48.250, or both, if the applicable standards of these sections are met.
G.
Required usable open space in the SM-SLU 100/65-145, SM-SLU 175/85-280, and SM-SLU 240/125-440 zones
1.
Except as provided for in subsection 23.48.240.G.3 and 23.48.240.F, in the SM-SLU 100/65-145, SM-SLU 175/85-280, and SM-SLU 240/125-440 zones, on lots exceeding 30,000 square feet in area, proposed development containing extra floor area as provided for in Sections 23.48.021 and 23.48.221 shall provide usable open space as follows:
a.
The minimum amount of required usable open space shall be equal to 15 percent of the lot area and shall generally be accessible at street level, with variations in elevation allowed to accommodate changes in topography;
b.
The average horizontal dimension for any area qualifying as required usable open space is 20 feet, and the minimum horizontal dimension is 10 feet, except that there is no minimum horizontal dimension for additional pedestrian area abutting a sidewalk that is provided according to subsection 23.48.240.G.1.f;
c.
A minimum of 45 percent of the required usable open space shall be exterior space open to the sky and shall abut a street along at least one street frontage and provide both visual and physical access from the street to pedestrians, including persons with disabilities;
d.
Up to a maximum of 20 percent of the required usable open space may be covered overhead to provide weather protected space and a widened sidewalk area, if the following conditions are met:
1)
The open space abuts a street lot line and is open and accessible to pedestrians along the sidewalk and,
2)
If the space is covered by portions of the structure above, or is provided as an arcade open to the street, the minimum vertical clearance is 20 feet;
e.
Up to a maximum of 35 percent of the required usable open space may be provided as enclosed space, such as a public atrium, a shopping atrium, wintergarden, or covered portion of a through-block pedestrian connection, if the enclosed open space meets all of the following requirements:
1)
Direct access is provided to pedestrians, including persons with disabilities, from the street, or from an outdoor, usable public open space abutting the street;
2)
The space is provided as one continuous area that is a minimum of 2,000 square feet in size. Space, such as lobby area, that is used solely to provide access between the structure's principal street entrance and elevators, does not qualify as required usable open space;
3)
The minimum floor-to-ceiling height is 15 feet; and
4)
The space is accessible to the public during normal business hours.
f.
Up to a maximum of 10 percent of the required usable open space may be provided as an area abutting a sidewalk that extends the pedestrian area onto the lot or accommodates landscaping or extensions of right-of-way green factor treatment pursuant to Section 23.86.019. Minor changes between the sidewalk elevation and the elevation of the abutting sidewalk area are permitted to accommodate changes in topography, or to provide for features such as ramps that improve access for persons with disabilities.
2.
Usable open space provided under this subsection 23.48.240.G is eligible to qualify as either amenity area for residential uses under Section 23.48.045 or open space required for office use under Section 23.48.250, or all three, provided the applicable standards of these sections are met.
3.
Usable open space satisfying the requirements of this subsection 23.48.240.G may be provided on a site other than the project site, provided that the following conditions are met:
a.
The alternate open space site is located within an SM-SLU zone and within 650 feet of the project site;
b.
The amount of usable open space is no less than 10 percent of the lot area; and
c.
The owner of any lot on which off-site open space is provided records a restrictive covenant in a form acceptable to the Director assuring compliance with requirements of this subsection 23.48.240.G.
H.
Through-block pedestrian connections for large lot developments
1.
A through-block pedestrian connection meeting the standards of subsection 23.48.240.F.2 is required in the SM-SLU 100/65-145, SM-SLU 85-240, SM-SLU 85/65-160, SM-SLU 175/85-280, and SM-SLU 240/125-440 zones for development described as follows:
a.
Within the block defined as the area enclosed by street rights-of-way, the lot area of the development is a minimum of 60,000 square feet, except that the area of lots separated only by an alley right-of-way may be combined for the purposes of calculating the minimum required lot area;
b.
The lot area of the development abuts the two north/south avenues for a minimum linear distance of 120 feet along each avenue.
2.
The required through-block pedestrian connection shall meet the following development standards:
a.
A continuous pedestrian passageway shall extend across the development lot to both abutting avenues. The alignment of the pedestrian connection and the point at which it intersects each avenue shall be no closer than 100 feet to an east-west street abutting the block, and the connection at the avenues shall be accessible at grade level from the sidewalk.
b.
The required pedestrian connection shall have an average width of 25 feet and a minimum width of 15 feet. Any segment of the pedestrian passage that is covered from side to side shall have a minimum width of 20 feet.
c.
The pedestrian passage shall be open to the sky, except that up to 35 percent of the length of the passageway may be covered and enclosed, provided the minimum height of covered portions is 13 feet. Unenclosed area of the pedestrian connection may be counted as required open space; and
d.
If the pedestrian passage crosses an alley, the alley right-of-way shall be improved to ensure pedestrian safety and to reinforce the relationship between portions of the passageway on either side of the alley.
3.
The Director may allow modifications or waiver from the standards for though-block pedestrian connections as a Type I decision, if the applicant demonstrates that alternative treatments will better serve the development by enhancing pedestrian comfort and promoting greater use of the connection.
4.
For development providing a through-block pedestrian connection on blocks with an alley, the allowed FAR from any lot included in the development may be transferred to any other lot of the development across the alley, provided the receiving site is in a SM-SLU zone.
(Ord. 127198, § 6, 2025; Ord. 125603, § 36, 2018; Ord. 125267, § 25, 2017; Ord. 124883, § 13, 2015.)
Lots in the SM-SLU 100/65-145, SM-SLU 85/65-160, SM-SLU 175/85-280, SM-SLU 85-280, and SM-SLU 240/125-440 zones are subject to upper-level development standards that may include upper-level floor area limits, gross floor area limits and podium heights, upper-level setbacks, facade modulation, maximum facade widths, a limit on the number of towers per block, and tower separation requirements, as specified in this Section 23.48.245. For the purpose of this Section 23.48.245, a tower is a structure that exceeds a height of 65 feet for the SM-SLU 100/65-145 and SM-SLU 85/65-160 zones, 85 feet for the SM-SLU 175/85-280 and SM-SLU 85-280 zones, or 125 feet for the SM-SLU 240/125-440 zone.
A.
Upper-level floor area limit. For residential towers, the average gross floor area of all stories above the podium height specified on Map A for 23.48.245 shall not exceed 50 percent of the lot area, provided that:
1.
In no case shall the gross floor area of stories above the podium height exceed the gross floor area limits of subsection 23.48.245.B.2; and
2.
The limit on towers per block in subsection 23.48.245.F applies.
B.
Floor area limits and podium heights. The following provisions apply to development in the SM-SLU 100/65-145, SM-SLU 85-280, SM-SLU 85/65-160, SM-SLU 175/85-280, and SM-SLU 240/125-440 zones located within the South Lake Union Urban Center:
1.
Floor area limit for structures or portions of structures occupied by non-residential uses:
a.
Except as specified in subsections 23.48.245.B.1.b and 23.48.245.B.1.c, there is no floor area limit for non-residential uses in a structure or portion of structure that does not contain non-residential uses above 85 feet in height.
b.
There is no floor area limit for a structure that includes research and development uses and the uses are in a structure that does not exceed a height of 105 feet, provided that the following conditions are met:
1)
A minimum of two floors in the structure are occupied by research and development uses and have a floor-to-floor height of at least 14 feet; and
2)
The structure has no more than seven stories above existing or finished grade, whichever is lower, as measured from the lowest story to the highest story of the structure but not including rooftop features permitted under subsection 23.48.025.C. The lowest story shall not include a story that is partially below grade and extends no higher than 4 feet above existing or finished grade, whichever is lower.
c.
Within locations in the SM-SLU 175/85-280 zone meeting the standards in subsection 23.48.230.B for extra height in South Lake Union Urban Center, there is no floor area limit for structures that do not exceed a height of 120 feet and that are designed for research and development laboratory use and administrative office associated with research and development laboratories.
d.
For structures or portions of structures with non-residential uses that exceed a height of 85 feet, or that exceed the height of 105 feet under the provisions of subsection 23.48.245.B.1.b, or 120 feet under subsection 23.48.245.B.1.c, each story of the structure above the specified podium height indicated for the lot on Map A for 23.48.245, excluding rooftop features or stories with rooftop features that are otherwise permitted above the height limit under the provisions of subsection 23.48.025.C, is limited to a maximum gross floor area of 24,000 square feet per story, except that the average gross floor area for stories above the specified podium height is 30,000 square feet for structures on a lot that meets the following conditions:
1)
The lot has a minimum area of 60,000 square feet; and
2)
The lot includes an existing open space or a qualifying Landmark structure and is permitted an additional increment of FAR above the base FAR, as permitted in subsection 23.48.220.A.3.
2.
Floor area limit for residential towers. For a structure with residential use that exceeds the base height limit established for residential uses in the zone under subsection 23.48.225.A.1, the following maximum gross floor area limit applies:
a.
For a structure that does not exceed a height of 160 feet, excluding rooftop features or stories with rooftop features that are otherwise permitted above the height limit under the provisions of subsection 23.48.025.C, the gross floor area for stories with residential use that extend above the podium height indicated for the lot on Map A for 23.48.245 shall not exceed 12,500 square feet for each story, or the floor size established by the upper-level floor area limit in subsection 23.48.245.A, whichever is less.
b.
For a structure that exceeds a height of 160 feet, the following limits apply:
1)
The average gross floor area for all stories with residential use that extend above the podium height indicated for the lot on Map A for 23.48.245, and extending up to the maximum height limit, shall not exceed 10,500 square feet, or the floor size established by the upper-level floor area limit in subsection 23.48.245.A, whichever is less, except as allowed in subsection 23.48.245.A.
2)
The gross floor area of any single residential story above the podium height shall not exceed 11,500 square feet.
3.
Floor area limit for mixed-use development. This subsection 23.48.245.B.3 applies to structures or portions of structures that include both residential and non-residential uses, as provided for in subsection 23.48.220.A.2.
a.
For a story that includes both residential and non-residential uses, the gross floor area limit for all uses combined shall not exceed the floor area limit for non-residential uses, provided that the floor area occupied by residential use shall not exceed the floor area limit otherwise applicable to residential use.
b.
For a mixed-use structure with residential uses located on separate stories from non-residential uses, the floor area limits shall apply to each use at the applicable height limit.
4.
Podium standards. The standards for podiums apply only to structures or portions of structures that include a tower that is subject to a floor area limit.
a.
Height limit for podiums. The specific podium height for a lot is shown on Map A for 23.48.245, and the height limit extends from the street lot line to the parallel alley lot line, or, where there is no alley lot line parallel to the street lot line, from the street lot line to a distance of 120 feet from the street lot line, or to the rear lot line, if the lot is less than 120 feet deep. If the street lot line is not straight, the measurement will be from the point where the distance between the street lot line and the rear lot line is the narrowest. The podium height is measured from the grade elevation at the street lot line. In the SM-SLU 85/65-160 and the SM-175/85-280 zones on the blocks bounded by Valley Street or Roy Street, Mercer Street, Dexter Avenue North, and Fairview Avenue North, the line on Map A for 23.48.245 demarcating the different podium heights within these blocks is located 120 feet north of the northerly line of Mercer Street.
b.
Podium floor area limits. For the podiums of structures with residential uses that exceed the base height limit established for the zone under subsection 23.48.225.A.1 the average gross floor area for all the stories below the podium height specified on Map A for 23.48.245 shall not exceed 75 percent of the lot area required for residential tower development, except that floor area is not limited for each story if the total number of stories below the podium height is three or fewer stories, or if the conditions in subsection 23.48.245.B.4.c apply.
c.
The floor area limit on podiums in subsection g does not apply if a lot includes one of the following:
1)
Usable open space that meets the provisions of subsection 23.48.240.F; or
2)
A structure that has been in existence prior to 1965 and the following conditions are met:
a)
The structure is rehabilitated and maintained to comply with applicable codes and shall have a minimum useful life of at least 50 years from the time that it was included on the lot with the project allowed to waive the podium area limit;
b)
The owner agrees that the structure shall not be significantly altered for at least 50 years from the time that it was included on the lot with the project allowed to waive the podium area limit. Significant alteration means the following:
i.
Alteration of the exterior facades of the structure, except alterations that restore the facades to their original condition;
ii.
Alteration of the floor-to-ceiling height of the street-level story, except alterations that restore the floor-to-ceiling height to its original condition; or
iii.
The addition of stories to the structure, unless the proposed addition is no taller than the maximum height to which the structure was originally built, or the addition is approved through the design review process as compatible with the original character of the structure and is necessary for adapting the structure to new uses; or
c)
If the structure is removed from the lot, then any use of the portion of the lot previously occupied by the structure shall be limited to usable open space. The portion of the lot previously occupied by the structure shall be defined by a rectangle enclosing the exterior walls of the structure as they existed at the time it was included on the lot with the project allowed to waive the podium area limit, with the rectangle extended to the nearest street frontage.
d.
Additional height for podiums abutting Class 1 Pedestrian Streets. Podium height for structures fronting on Class 1 Pedestrian Streets pursuant to Section 23.48.240 may exceed podium height limits shown on Map A for 23.48.245 by 5 feet provided that floor-to-ceiling clearance at the ground floor is at least 15 feet.
5.
Aerial connections. Structures that use an additional increment of floor area provided in subsection 23.48.220.A.3.b may be connected by up to three aerial connections. The combined floor area in all aerial connections may not exceed 2,130 square feet and no one aerial connection may exceed 805 square feet. The floor area of aerial connections does not count toward the floor area limits of subsections 23.48.245.B.1 or 23.48.245.B.2. For purposes of this subsection 23.48.245.B.5, "aerial connections" are enclosed connections between structures that are located on the same block and that do not cross above public right-of-way.
Map A for 23.48.245
Podium Heights
C.
Upper-level setbacks
1.
The following requirements for upper-level setbacks in this subsection 23.48.245.C.1 apply to development that meets the following conditions:
a.
The development is on a lot abutting a street segment shown on Table A for 23.48.245; and
b.
For lots in the SM-SLU 85-280, SM-SLU 85/65-160, SM-SLU 175/85-280, and SM-SLU 240/125-440 zones located within the South Lake Union Urban Center, the development includes a tower structure with residential uses exceeding the base height limit established for residential uses in the zone under subsection 23.48.225.A.1, or includes a structure with non-residential uses that exceed a height of 95 feet.
2.
The required upper-level setbacks for development specified in subsection 23.48.245.C.1 shall be provided as follows:
a.
For portions of a structure facing the applicable street, the maximum height above which a setback is required is specified on Column 2 of Table A for 23.48.245.
b.
For portions of a structure exceeding the maximum height above which a setback is required, the minimum depth of the setback, measured from the abutting applicable street lot line, is specified on Column 3 of Table A for 23.48.245.
3.
Upper-level setbacks for residential tower development in the SM-SLU 85/65-160 zone on the blocks bounded by Valley Street, Mercer Street, Westlake Avenue North, and Fairview Avenue North. For tower structures that include residential use above the base height limit for residential use, or hotel use above a height of 85 feet, upper-level setbacks, in addition to those specified in subsection 23.48.235.B.1, are required as follows:
a.
Any portion of the structure above 65 feet in height shall set back a minimum of 30 feet from the following street lot lines:
1)
The street lot line abutting the eastern edge of Westlake Avenue North from Mercer Street to Valley Street; and
2)
The street lot line abutting the western edge of Fairview Avenue North from Mercer Street to Valley Street.
b.
For lots abutting the street lot line on the southern edge of Valley Street between Westlake Avenue North and Fairview Avenue North, any portion of a structure above 65 feet in height shall provide a minimum setback of 25 feet.
4.
Upper-level setbacks for tower structures in the SM-SLU 175/85-280 zone for the block bounded by Mercer Street, Fairview Avenue North, Republican Street, and Boren Avenue North. In addition to upper-level setback requirements in this subsection 23.48.245.C, for tower structures with residential or non-residential uses on lots in the SM-SLU 175/85-280 zone on the block bounded by Mercer Street, Fairview Avenue North, Republican Street, and Boren Avenue North, any portion of the tower structure above 85 feet shall be set back a minimum of 110 feet from the street lot line abutting Mercer Street.
5.
Projections permitted in required upper-level setbacks. The first 4 feet of horizontal projection of decks, balconies with open railings, eaves, cornices, and gutters are permitted in required setbacks, as shown in Exhibit B for 23.48.235.
D.
Facade modulation. For all structures with non-residential uses exceeding 85 feet in height, facade modulation is required for the street-facing portions of a structure located within 15 feet of a street lot line and exceeding the podium height specified for the lot on Map A for 23.48.245. No modulation is required for portions of a facade set back 15 feet or more from a street lot line.
1.
The maximum length of a facade without modulation is prescribed in Table B for 23.48.245. This maximum length shall be measured parallel to each street lot line, and shall apply to any portion of a facade, including projections such as balconies, that is located within 15 feet of street lot lines.
2.
If a portion of a facade that is within 15 feet of the street lot line is the maximum length permitted for an unmodulated facade, the length of the facade may be increased only if additional portions of the facade are set back a minimum of 15 feet from the street lot line for a minimum distance of 40 feet. If the required setback is provided, additional portions of the facade may be located within 15 feet of the street lot line.
E.
Maximum facade width. A maximum facade width applies to certain residential structures that exceed the base height limit for residential use, as specified in subsections 23.48.245.E.1, 23.48.245.E.2, and 23.48.245.E.3. The maximum facade width only applies to portions of the structure above the podium height specified for the lot on Map A for 23.48.245.
1.
Except in the SM-SLU 100/65-145 zone and the SM-SLU 85/65-160 zone on the blocks bounded by Valley Street, Mercer Street, Westlake Avenue North, and Fairview Avenue North, for portions of a structure that exceed the podium height but do not exceed a height of 160 feet, and that have an average floor size exceeding 10,500 square feet, the maximum facade width is 120 feet along the general east/west axis of the site (perpendicular to the Avenues).
2.
In the SM-SLU 100/65-145 zone, the maximum facade width is 105 feet along the general north/south axis of the site (parallel to the Avenues).
3.
In the SM-SLU 85/65-160 zone, on the blocks bounded by Valley Street, Mercer Street, Westlake Avenue North, and Fairview Avenue North, the maximum facade width for portions of structures above the podium height is 105 feet along the general east/west axis of the site (perpendicular to the Avenues).
F.
Limit on towers per block or block front
1.
For purposes of this subsection 23.48.245.F and subsection 23.48.245.G, a tower is considered to be "existing" and must be taken into consideration when other towers are proposed, under any of the following circumstances:
a.
The tower is physically present, except that a tower that is physically present is not considered "existing" if the owner of the lot where the tower is located has applied to the Director for a permit to demolish the tower and provided that no building permit for the proposed tower is issued until the demolition of the tower that is physically present has been completed;
b.
The tower is a proposed tower for which a complete application for a Master Use Permit or building permit has been submitted, provided that:
1)
The application has not been withdrawn or cancelled without the tower having been constructed; and
2)
If a decision on that application has been published or a permit on the application has been issued, the decision or permit has not expired, and has not been withdrawn, cancelled, or invalidated, without the tower having been constructed.
c.
The tower is a proposed tower for which a complete application for early design guidance has been filed and a complete application for a Master Use Permit or building permit has not been submitted, provided that the early design guidance application will not qualify a proposed tower as an existing tower if a complete Master Use Permit application is not submitted within 90 days of the date of the early design guidance public meeting if one is required, or within 90 days of the date the Director provides guidance if no early design meeting is required, or within 150 days of the first early design guidance public meeting if more than one early design guidance public meeting is held.
2.
Only one residential tower, or one tower with non-residential uses exceeding 85 feet in height, is permitted on a single block front, except as modified by subsections 23.48.245.F.3, 23.48.245.F.4, and 23.48.245.F.5.
3.
In the SM-SLU 85/65-160 zone, only one residential tower structure or one non-residential tower structure with a hotel use meeting residential development standards is permitted per block.
4.
In the SM-SLU 100/65-145 zone, more than one residential tower is permitted on a block front if the lot area is 30,000 square feet or more.
5.
Only one tower with non-residential uses exceeding 85 feet in height is permitted on a block, unless the tower meets the requirements of Section 23.48.230 or unless all of the following conditions apply:
a.
The tower is on a lot with a minimum area of 60,000 square feet. The area of one or more lots, separated only by an alley, may be combined for the purposes of calculating the minimum required lot area under this subsection 23.48.245.F.5. The minimum lot area is 59,000 square feet if the lot area was reduced below 60,000 square feet as a result of acquisition of right-of-way by the City;
b.
A minimum separation of 60 feet is provided between all portions of structures on the lot that exceed the limit on podium height shown on Map A for 23.48.245. If the lot includes a qualifying Landmark structure, an average separation of 60 feet is permitted;
c.
A minimum of 15 percent of the lot area is provided as landscaped open space at ground level, allowing for some area to be provided above grade to adapt to topographic conditions, provided that such open space is accessible to people with disabilities. The required open space shall have a minimum horizontal dimension of 15 feet and shall be provided as one continuous area;
d.
A pedestrian connection meeting the development standards of subsection 23.48.240.H for through-block pedestrian connections for large lot developments is provided through the lot to connect the north/south avenues abutting the lot. If the lot abuts an avenue that has been vacated, the connection shall be to an easement providing public access along the original alignment of the avenue. In addition, if the slope of the lot between the north/south avenues exceeds a slope of ten percent, a hillclimb shall be provided;
e.
The application of the provisions in this subsection 23.48.245.F.5 shall not result in more than two structures on a block with either non-residential uses above 85 feet in height or with residential use above the base height limit for residential use, except as allowed by subsection 23.48.245.F.5.f;
f.
The block front on the east side of Terry Avenue North between Denny Way and Thomas Street shall be treated as two block fronts, separated by the location of John Street, if extended between Boren Avenue North and Terry Avenue North;
g.
The Director shall make a determination of project impacts on the need for pedestrian and bike facilities and complete a voluntary agreement between the property owner and the City to mitigate impacts, if any. The Director may consider the following as impact mitigation:
1)
Pedestrian walkways on a lot, including through-block connections on through lots, where appropriate, to facilitate pedestrian circulation by connecting structures to each other and abutting streets;
2)
Sidewalk improvements, including sidewalk widening, to accommodate increased pedestrian volumes and streetscape improvements that will enhance pedestrian comfort and safety;
3)
Improvements to enhance the pedestrian environment, such as providing overhead weather protection, landscaping, and other streetscape improvements; and
4)
Bike share stations; and
h.
For development that exceeds 85,000 or more gross square feet of floor area in office use, the Director shall make a determination as to the project's impact on the need for open space. The Director may limit floor area or allow floor area subject to conditions, which may include a voluntary agreement between the property owner and the City to mitigate impacts, if any. The Director shall take into account Section 23.48.250 in assessing the demand for open space generated by an office development in an area permitting high employment densities.
1)
The Director may consider the following as mitigation for open space impacts:
a)
Open space provided on-site or off-site, consistent with the provisions in subsection 23.49.016.C, or provided through payment-in-lieu, consistent with subsection 23.49.016.D, except that in all cases the open space shall be located on a lot in an SM-SLU zone that is accessible to the development's occupants;
b)
Additional pedestrian amenities through on-site or streetscape improvements provided as mitigation for impacts on pedestrian facilities pursuant to subsection 23.48.245.F.5.g; and
c)
Public space inside or on the roof of a Landmark building.
2)
The Director may approve open space in lieu of that contained or referred to in subsection 23.49.016.C to mitigate project impacts, based on consideration of relevant factors, including the following:
a)
The density or other characteristics of the workers anticipated to occupy the development compared to the presumed office employment population providing the basis for the open space standards applicable under Section 23.49.016; and
b)
Characteristics or features of the development that mitigate the anticipated open space impacts of workers or others using or occupying the project.
6.
The block front on the east side of Terry Avenue N. between Denny Way and Thomas Street N. shall be treated as two block fronts, separated by the location of John Street N., if extended between Boren Avenue N. and Terry Avenue N.
G.
Tower separation. The following separation is required between a proposed tower with residential use above the base height limit for residential use and existing towers with residential use above the base height limit for residential use and that are located on the same block. For the purposes of this subsection 23.48.245.G, a block is defined as the area bounded by street lot lines and excluding alley lot lines. Alleys shall not be deemed to bisect a block into two separate blocks:
1.
A separation of 60 feet is required between all portions of the structures above the podium height limit for towers that exceed the base height limit for residential use and any tower consider to be existing according to subsection 23.48.245.F.1.
2.
No separation is required on blocks within the area bounded by Aurora Avenue North, John Street, Thomas Street, and 9 th Avenue North.
3.
The first 4 feet of the horizontal projection of unenclosed decks and balconies, and architectural features such as cornices shall be disregarded in calculating tower separation.
(Ord. 126685, § 29, 2022 [cross-reference update]; Ord. 126157, § 32, 2020; Ord. 125927, § 4, 2019; Ord. 125603, § 37, 2018; Ord. 125291, § 11, 2017; Ord. 125272, § 35, 2017; Ord. 124883, § 13, 2015.)
A.
Finding. The City Council finds that:
1.
With the increase in office development and the Comprehensive Plan's significant employment growth targets for the South Lake Union Urban Center, office workers will increasingly become major users of open space in the area.
2.
Additional major office projects in the South Lake Union Urban Center will result in increased use of public open space. If additional major office projects in the South Lake Union Urban Center do not provide open space to offset the additional demands on public open space caused by such projects, the result will be overcrowding of public open space, adversely affecting the public health, safety, and welfare.
3.
Recent and projected office development in the South Lake Union Urban Center is generally comparable to office development in the abutting Downtown Urban Center in terms of tenant characteristics, density, and open space need. Therefore, the findings that support the current open space requirement in major downtown office projects are applicable to conditions in the South Lake Union Urban Center.
4.
The additional open space needed to accommodate office workers is at least 20 square feet for each 1,000 square feet of office space.
5.
As in Downtown, smaller office developments in the South Lake Union Urban Center may encounter design problems in incorporating open space, and the sizes of open spaces provided for office projects under 85,000 square feet may make them less attractive and less likely to be used. Therefore, and in order not to discourage small scale office development, projects involving less than 85,000 square feet of new office space should be exempt from any open space requirement.
B.
Quantity of open space. Open space in the amount of 20 square feet for each 1,000 square feet of gross office floor area is required for the following projects:
1.
The project is on a lot located in an SM-SLU zone that has a height limit for non-residential uses that exceeds 100 feet; and
2.
The project includes 85,000 or more square feet of gross floor area in office use.
C.
Standards for open space. Open space may be provided on-site or off-site, as follows:
1.
On-site open space
a.
Private open space. Private open space on the project site may satisfy the requirement of this Section 23.48.250. Private open space shall be open to the sky and shall be consistent with the general conditions related to landscaping, seating, and furnishings for neighborhood open space in subsection 23.58A.040.C.5.b.2. Private open space satisfying this requirement must be accessible to all tenants of the building and their employees.
b.
Open space provided for a project on site or on an adjacent lot directly accessible from the project site to meet the open space requirements of subsection 23.48.240.F or subsection 23.48.240.G may be used to satisfy the requirement of this Section 23.48.250.
2.
Off-site public open space. Open space satisfying the requirement of this Section 23.48.250 may be on a site other than the project site, provided that it is within an SM-SLU zone and within 1/4 mile of the project site, open to the public without charge, and at least 3,000 square feet in contiguous area. The minimum size of off-site open space and maximum distance from the project may be increased or decreased for a project if the Director determines that such adjustments are reasonably necessary to provide for open space that will meet the additional need for open space caused by the project and enhance public access.
3.
Easement for off-site open space. The owner of any lot on which off-site open space is provided to meet the requirements of this Section 23.48.250 shall execute and record an easement in a form acceptable to the Director assuring compliance with the requirements of this Section 23.48.250. The Director is authorized to accept such an easement, provided that the terms do not impose any costs or obligations on the City.
4.
Open space provided under this Section 23.48.250 shall qualify as the open space required under subsections 23.48.240.F and 23.48.240.G, and this Section 23.48.250 if within 1/4 mile of the project site.
D.
Payment-in-lieu. In lieu of providing open space required under this Section 23.48.250, an owner may make a payment to the City if the Director determines that the payment will contribute to the improvement of a designated Neighborhood Green Street or to other public open space improvements abutting the lot or in the vicinity, in an amount sufficient to develop improvements that will meet the additional need for open space caused by the project, and that completion of the improvement within a reasonable time is feasible. Any such payment shall be placed in a dedicated fund or account and used within five years of receipt for the development of such improvements, unless the property owner and the City agree upon a different improvement involving the acquisition or development of public open space that will mitigate the impact of the project.
E.
Limitations. Open space satisfying the requirement of this Section 23.48.250 for any project shall not be used to satisfy the open space requirement for any other project. When a transmitting antenna is sited or proposed to be sited on a rooftop where required open space is located, see Section 23.57.013. Open space on the site of any building for which a Master Use Permit decision was issued or a complete building permit application was filed prior to November 15, 2015, that was not required under the Land Use Code in effect when such permit decision was issued or such application filed, but that would have been required for the same building by this Section 23.48.250, shall not be used to satisfy the open space requirement for any other project.
(Ord. 125603, § 38, 2018; Ord. 125291, § 12, 2017; Ord. 124883, § 13, 2015.)
A.
Landscaping requirements
1.
Landscaping required by this Section 23.48.255 to achieve the Green Factor score of .30 may be met on one or more other lots within the SM-SLU 85/65-160 zone, on the blocks bounded by Valley Street, Mercer Street, Westlake Avenue North, and Fairview Avenue North, or their adjacent rights-of-way when a Green Factor score of .50 or greater is achieved and when, prior to issuance of a Master Use Permit for any development that relies on one or more other lots within the SM-SLU 85/65-160 zone, on the blocks bounded by Valley Street, Mercer Street, Westlake Avenue North, and Fairview Avenue North, or their adjacent rights-of-way to meet the landscaping requirement of this Section 23.48.255, the fee owner of the lot(s) used to meet landscaping requirements shall execute a restrictive covenant that is recorded in the King County real property records that:
a.
restricts the use of that portion of the off-site property that is to meet the landscaping requirement of this Section 23.48.255;
b.
includes the legal descriptions of the lot burdened by the covenant;
c.
acknowledges the specific extent to which the Green Factor standards are met through a combination of the lots; and
d.
provides that the covenant shall be in effect until the Master Use Permit terminates or the development allowed by the Master Use Permit no longer requires the off-site landscaping.
B.
Parking in structures. Except as provided for by subsection 23.48.085.B, parking located at or above street level in a garage shall be screened on Class 1 and 2 Pedestrian Streets, shown on Map A for 23.48.240, parking is not permitted at street level unless separated from the street by other uses, provided that garage doors need not be separated.
(Ord. 124883, § 13, 2015.)
A.
Off-street parking spaces and bicycle parking are required according to Section 23.54.015 unless modified by this Section 23.48.280.
B.
Maximum parking limits
1.
Except as provided in subsections 23.48.280.B.2 and 23.48.280.B.3, the amount of parking reserved for or accessory to non-residential uses is limited to one parking space per every 1,000 square feet of gross floor area in non-residential use minus gross floor area in parking uses.
2.
If, on or before September 1, 2012, a lot is providing legal off-site parking for another lot, by means such as a recorded parking easement or off-site accessory parking covenant on the subject lot, then the number of such off-site parking spaces is allowed on the off-site lot in addition to one space per 1,000 square feet for non-residential uses minus gross floor area in parking uses on the subject lot.
3.
A lot in the SM-SLU 85/65-160 zone may exceed the maximum parking limits in this subsection 23.48.280.B without approval of a special exception pursuant to subsection 23.48.280.B.2 when, prior to issuance of a Master Use Permit for the lot that exceeds the maximum parking limit, the fee owners of both the property subject to the Master Use Permit for the lot that exceeds the maximum parking limit and the fee owners of the property subject to the Master Use Permit execute a restrictive covenant that is recorded in the King County real property records that limits the amount of parking that can be provided on other lot(s), such that the total quantity of parking provided as part of the Master Use Permit together with the parking to be provided on the other lot(s) subject to the restrictive covenant does not exceed the maximum parking limits in subsection 23.48.280.B.
C.
Parking at street level within structures. Parking is permitted in a story that is partially above street level and partially below street level in a structure permitted in a setback area under the provisions of subsection 23.48.240.C.2.b.
A.
Parking above the street level of a structure. The following provisions apply to development in the SM-SLU 100/65-145, SM-SLU 85/65-160, SM-SLU 175/85-280, SM-SLU 85-280, and SM-SLU 240/125-440 zones within the South Lake Union Urban Center:
1.
Except as provided in subsection 23.48.285.B for parking partially above street level and partially below street level, parking within structures is permitted above the street level under the following conditions:
a.
One story of parking is permitted above the first story of a structure for each story of parking provided below grade that is of at least equivalent capacity, up to a maximum of two stories of parking above the first story.
b.
For parking located on a story above the first story of a structure, a minimum of 30 percent of the length of the parking area measured along each street frontage shall be separated from the street by another use. On lots located at street intersections, the separation of parking area by another use shall be provided at the corner portion(s) of the structure.
c.
The parking area on a story above the first story of the structure that is not separated from the street by another use shall be enclosed by facades along all street frontages. Facades shall be designed to minimize the impacts of glare from vehicle headlights and interior garage lighting on pedestrian views from the street.
2.
The Director may permit more than two stories of parking above the first story of the structure, or may permit other exceptions to subsection 23.48.285.A, as a Type I decision, if the Director finds that locating parking below grade is infeasible due to physical site conditions such as a high water table or proximity to a tunnel. In such cases, the Director shall determine the maximum feasible amount of parking that can be provided below grade, if any, and the amount of additional parking to be permitted above street level. Site size is not a basis for granting an exception under this subsection 23.48.285.A.2.
B.
Accessory surface parking. In the SM-SLU 100/65-145, SM-SLU 85/65-160, SM-SLU 175/85-280, SM-SLU 85-280, and SM-SLU 240/125-440 zones in the South Lake Union Urban Center, accessory surface parking is prohibited unless separated from all street lot lines by another use within a structure.
A.
When a development is proposed that is expected to generate 50 or more employee single-occupant vehicle (SOV) trips in any one p.m. hour, the applicant shall prepare and implement a Transportation Management Program (TMP) consistent with requirements for TMPs in any applicable Director's Rule.
1.
For purposes of measuring attainment of SOV goals contained in the TMP, the proportion of SOV trips shall be calculated for the p.m. hour in which an applicant expects the largest number of vehicle trips to be made by employees at the site (the p.m. peak hour of the generator). The proportion of SOV trips shall be calculated by dividing the total number of employees using an SOV to make a trip during the expected peak hour by the total number of employee person trips during the expected peak hour.
2.
Compliance with this section does not supplant the responsibility of any employer to comply with Seattle's Commute Trip Reduction (CTR) Ordinance.
B.
An applicant who proposes multifamily development that is expected to generate 50 or more vehicle trips in any one p.m. hour or demand for 25 or more vehicles parking on the street overnight shall prepare and implement a TMP. The TMP shall be consistent with requirements for TMPs in any applicable Director's Rule. For purposes of measuring attainment of the SOV goal, the proportion of SOV trips shall be calculated for the p.m. hour in which an applicant expects the largest number of vehicle trips to be made by residents of the site (the p.m. peak hour of the generator). The proportion of SOV trips shall be calculated by dividing the total number of residential trips made by SOV during the expected peak hour by the total number of residential person trips.
C.
Each owner subject to the requirements of this section shall prepare a TMP as described in rules promulgated by the Director, as part of the requirements for obtaining a master use permit.
D.
The TMP shall be approved by the Director if, after consulting with Seattle Department of Transportation, the Director determines that the TMP measures are likely to achieve the mode-share targets for trips made by travel modes other than driving alone for the South Lake Union Urban Center in 2035 that are contained in Seattle's Comprehensive Plan's Transportation Element.
E.
All requirement to prepare and implement a TMP according to this Section 23.48.290 or to achieve additional floor area or additional height pursuant to subsections 23.48.021.D.2 or 23.48.230.f shall be satisfied solely by compliance with this Section 23.48.290.
(Ord. 125291, § 14, 2017)
The provisions in Sections 23.48.320 through 23.48.345 of the Seattle Mixed-Dravus (SM-D) zone are in addition to and supplement the provisions of Sections 23.48.005 through 23.48.095. In cases of conflicts between Sections 23.48.005 through 23.48.095 and Sections 23.48.320 through 23.48.345, the provisions in the SM-D zone apply.
A.
In the SM-D 55/95 zone, the height limit for portions of a structure in non-residential use is 55 feet and the height limit for portions of a structure in residential use is 95 feet.
B.
Exceptions for pitched roofs and rooftop features. Additional height above the applicable limit pursuant to subsection 23.48.325.A is allowed for pitched roofs and certain rooftop features, as set forth in subsections 23.48.025.B and 23.48.025.C.
Portions of a structure above 55 feet in height shall be set back at least 50 feet from West Dravus Street, except that the first 4 feet of the horizontal projection of decks, balconies with open railings, eaves, cornices, and gutters is permitted in the required setback, and pitched roofs and rooftop features as allowed by subsections 23.48.025.B and 23.48.025.C are allowed above the 55-foot height limit in the required setback.
(Ord. 125791, § 65, 2019.)
For projects that exceed a height of 55 feet, excluding pitched roofs and rooftop features permitted above the applicable height limit pursuant to subsections 23.48.025.B and 23.48.025.C, the applicant shall make a commitment that the proposed development will meet the green building standard and shall demonstrate compliance with that commitment, all in accordance with Chapter 23.58D.
(Ord. 125791, § 66, 2019.)
The provisions in Sections 23.48.420 through 23.48.445 of the Seattle Mixed-North Rainier (SM-NR) zone are in addition to and supplement the provisions of Sections 23.48.005 through 23.48.095. In cases of conflicts between Sections 23.48.005 through 23.48.095 and Sections 23.48.420 through 23.48.445, the provisions in the SM-NR zone apply.
In the SM-NR 145 zone, extra floor area above the base FAR and up to the maximum FAR shall be achieved as follows:
A.
Means to achieve extra residential floor area. The applicant shall:
1.
Achieve 65 percent of the extra residential floor area on the lot by using bonus residential floor area for affordable housing pursuant to Section 23.58A.014; and
2.
Achieve 35 percent of the extra residential floor area by using open space amenities pursuant to Section 23.58A.040.
B.
Means to achieve extra non-residential floor area. The applicant shall:
1.
Achieve 65 percent of the extra non-residential floor area on the lot by using bonus non-residential floor area for affordable housing pursuant to Section 23.58A.024; and
2.
Achieve 35 percent of the extra non-residential floor area by using open space amenities pursuant to Section 23.58A.040.
The following requirements for upper-level setbacks in this subsection 23.48.435 apply to structures on lots abutting a street shown on Map A for 23.48.435:
A.
Any portion of a structure greater than 45 feet in height is required to set back from a lot line abutting a street shown on Map A for 23.48.435.
B.
A setback of 1 foot for every 2 additional feet of height is required for any portion of a structure exceeding the maximum height permitted without a setback according to subsection 23.48.435.A, up to a maximum setback of 15 feet measured from the street lot line.
Map A for 23.48.435
Upper-Level Setbacks in North Rainier
(Ord. 124883, § 13, 2015.)
For projects exceeding the FAR in Table A for 23.45.445, the applicant shall make a commitment that the proposed development will meet the green building standard and shall demonstrate compliance with that commitment, all in accordance with Chapter 23.58D.
(Ord. 125791, § 71, 2019)
The provisions in this Subchapter V of Chapter 23.48 establish regulations for SM-U zones. The SM-U zone designation refers to all zones in the SM category in the University Community Urban Center, and includes the SM-U/R zone. The provisions in this Subchapter V of Chapter 23.48 supplement the provisions of Subchapter I of Chapter 23.48. In cases of conflicts between the provisions in Subchapter I of Chapter 23.48 and this Subchapter V of Chapter 23.48, the provisions in this Subchapter V shall govern.
(Ord. 125267, § 26, 2017.)
A.
Conditional uses. Flexible-use parking garages shall only be permitted as an administrative conditional use if the provisions of subsection 23.48.605.B are met.
B.
To approve a flexible-use parking garage as an administrative conditional use, the Director shall, after consulting with the Director of Transportation, find that:
1.
Traffic from the garage will not have substantial adverse effects on peak hour traffic flow to and from Interstate 5 or on traffic circulation in the area around the garage;
2.
The vehicular entrances and exits to the garage are located so that they will not disrupt traffic, pedestrian circulation, bicycle circulation, or transit routes;
3.
The garage will be operated by a parking company whose primary purpose is to support the University Community Urban Center business community by providing and managing parking facilities for its customers, business owners, and employees.
C.
Required street-level uses
1.
One or more of the following uses listed in this subsection 23.48.605.C.1 are required at street level along the street-facing facades abutting streets shown on Map A for 23.48.605:
a.
General sales and service uses;
b.
Eating and drinking establishments;
c.
Entertainment uses;
d.
Public libraries;
e.
Public parks;
f.
Arts facilities;
g.
Religious facilities;
h.
Human services uses;
i.
Child care centers;
j.
Light rail transit stations; and
k.
Low-income housing.
2.
Standards for required street-level uses. Required street-level uses shall meet the development standards in subsection 23.48.040.C.
Map A for 23.48.605
Locations of street-level use requirements
(Ord. 126855, § 24, 2023; Ord. 126287, § 9, 2021; Ord. 126131, § 9, 2020; Ord. 125558, § 22, 2018; Ord. 125267, § 26, 2017.)
A.
When a development is proposed that is expected to generate 50 or more employee or student single-occupant vehicle (SOV) trips in any one p.m. hour, the applicant shall prepare and implement a Transportation Management Program (TMP) consistent with requirements for TMPs in any applicable Director's Rule.
1.
For purposes of measuring attainment of SOV goals contained in the TMP, the proportion of SOV trips shall be calculated for the p.m. hour in which an applicant expects the largest number of vehicle trips to be made by employees and students at the site (the p.m. peak hour of the generator). The proportion of SOV trips shall be calculated by dividing the total number of employees and students using an SOV to make a trip during the expected peak hour by the total number of employee and student person trips during the expected peak hour.
2.
Compliance with this Section does not supplant the responsibility of any employer to comply with Chapter 25.02.
B.
An applicant who proposes multifamily development that is expected to generate 50 or more vehicle trips in any one p.m. hour or demand for 25 or more vehicles parking on the street overnight shall prepare and implement a TMP. The TMP shall be consistent with requirements for TMPs in any applicable Director's Rule. For purposes of measuring attainment of the SOV goal, the proportion of SOV trips shall be calculated for the p.m. hour in which an applicant expects the largest number of vehicle trips to be made by residents of the site (the p.m. peak hour of the generator). The proportion of SOV trips shall be calculated by dividing the total number of residential trips made by SOV during the expected peak hour by the total number of residential person trips.
C.
Each owner subject to the requirements of this Section shall prepare a TMP as described in rules promulgated by the Director, as part of the requirements for obtaining a master use permit.
D.
The TMP shall be approved by the Director if, after consulting with the Seattle Department of Transportation, the Director determines that the TMP measures are likely to achieve the mode-share targets for trips made by travel modes other than driving alone for the University Community Urban Center in 2035 that are contained in Seattle's Comprehensive Plan's Transportation Element.
(Ord. 125267, § 26, 2017.)
A.
Maximum height limits
1.
The maximum structure height in SM-U zones is shown as the number(s) following the zone designation. For zones that include two numbers, the first number of the height suffix is the height limit for midrise structures and the second number following the dash is the maximum height limit for highrise structures. A highrise structure is any structure that exceeds the height limit for midrise structures, excluding rooftop features. Highrise structures are subject to the highrise floor area limits in subsection 23.48.645.A.
2.
A minimum lot size of 12,000 square feet is required for a highrise structure.
B.
Provisions for rooftop features allowed above the height limit are in subsection 23.48.025.C. For zones with two height limits in the height suffix, the provisions in subsection 23.48.025.C apply to both height limits.
(Ord. 125267, § 26, 2017.)
A.
Floor area ratio (FAR) limits. Except as otherwise specified in this Section 23.48.620, FAR limits for the SM-U 85 zone are as shown in Table A for 23.48.620; FAR limits for the SM-U/R 75-240 zone are as shown in Table B for 23.48.620 and FAR limits for the SM-U 75-240 and the SM-U 95-320 zones are as shown in Table C for 23.48.620.
B.
Additional increment of chargeable floor area above the base FAR. On lots that include uses or features specified in this subsection 23.48.620.B, an additional increment of chargeable floor area is permitted above the base FAR as follows:
1.
For all SM-U zones, an additional increment of 0.5 FAR is permitted above the base FAR of the zone shown on Table A, Table B, or Table C for 23.48.620 if a lot includes one or more qualifying Landmark structures, subject to the following conditions:
a.
The structure is rehabilitated to the extent necessary so that all features and characteristics controlled or designated by ordinance pursuant to Chapter 25.12 are in good condition and consistent with the applicable ordinances and with any certificates of approval issued by the Landmarks Preservation Board, all as determined by the Director of the Department of Neighborhoods; and
b.
A notice is recorded in the King County real estate records, in a form satisfactory to the Director, regarding the bonus allowed and the effect thereof under the terms of this Chapter 23.48.
c.
For purposes of this subsection 23.48.620.B, a "qualifying Landmark" is a structure that:
1)
Is subject, in whole or in part, to a designating ordinance pursuant to Chapter 25.12; and
2)
Is on a lot on which no improvement, object, feature, or characteristic has been altered or removed contrary to any provision of Chapter 25.12 or any designating ordinance.
d.
A qualifying Landmark that allows for the additional increment of FAR under this subsection 23.48.620.B.1 is not eligible as a Landmark transferable development rights (TDR) or transferable development potential (TDP) sending site. For so long as any of the chargeable floor area of the increment allowed above the base FAR of the zone under this subsection 23.48.620.B.1 remains on the lot, each Landmark for which the increment was granted shall remain designated as a Landmark under Chapter 25.12 and the owner shall maintain the exterior and interior of each qualifying Landmark in good condition and repair and in a manner that preserves the features and characteristics that are subject to designation or controls by ordinance unless the Landmarks Preservation Board has issued a certificate of approval for the modification or demolition of the Landmark.
e.
In the SM-U/R 75-240 zone, the additional increment of chargeable floor area allowed above the base FAR shall be for residential use only.
2.
For all SM-U zones, an additional increment of up to 0.5 FAR is permitted above the base FAR of the zone if a lot includes a human service use, subject to the following conditions:
a.
The amount of the additional increment of FAR permitted above the base FAR under this subsection 23.48.620.B.2 shall not exceed the gross square footage of floor area in the human service use.
b.
The minimum area provided for one or more human service uses shall be 2,500 square feet of interior space;
c.
The location of the human service use shall be accessible to the elderly and disabled, with exterior and interior directional signage clearly visible from the street;
d.
The space shall be occupied by a human service use for the life of the project on the lot. If the property owner is unable to secure a human service use to occupy the space, after a six-month period, if the space remains unoccupied, it may be used for non-profit purposes as a community and/or public area, under the following conditions:
1)
The space shall be made available to community and charitable organizations and is not to be used for profit-making activities;
2)
The space shall be made available for both day and evening use;
3)
The space shall be made available on a first-come, first-served basis to community and charitable organizations;
4)
There shall be no charge for use of the space, except for any costs that may be necessary by the interim use; and
5)
Availability of the space and the contact person(s) shall be made known to community and charitable groups through means such as newspaper articles, radio announcements, flyers to organizations, and contacts with umbrella organizations such as the University District Conversation on Homelessness.
e.
The property owner shall maintain all elements of the human service space, including but not limited to landscaping, seating, and lighting, in a safe, clean, and well-maintained condition, and the following shall apply:
1)
Any additional improvements beyond the minimum requirements needed for specific service activities may be provided either by the applicant or the agency. The specifics shall be included in the lease agreement. Depending on the terms of the agreement, the tenant may be required to pay for utilities, insurance, taxes, and maintenance expenses. In addition, the tenant may be required to pay for development costs specifically required to meet the needs of the lessee.
2)
Rent shall not be charged for use of the space.
f.
No permit after the first building permit, no permit for any construction activity other than excavation and shoring, and no permit for occupancy of existing floor area by any use shall be issued for development that includes a human service use to gain the increase in base FAR until the applicant has demonstrated to the satisfaction of the Director that a lease with a qualified human service agency has been secured to occupy the space for a minimum of five years.
g.
In the SM-U/R 75-240 zone, the additional increment of chargeable floor area allowed above the base FAR shall be for residential use only.
3.
For the SM-U 75-240 and SM-U 95-320 zones, an additional increment of 0.5 FAR is permitted above the base FAR of the zone as shown on Table B for 23.48.620 if a lot includes a preschool, an elementary school, or a secondary school, provided that the school meets the conditions for floor area exempt from FAR in subsection 23.48.620.C.4.
4.
For the SM-U 85 zone, an additional increment of chargeable floor area up to 0.5 FAR is permitted above the base FAR of the zone shown on Table A for 23.48.620 for a lot that includes one or more vulnerable masonry structures included on a list of structures that meet specified criteria in a rule promulgated by the Director under Section 23.48.627, provided that the following conditions are met:
a.
The amount of the additional increment of FAR permitted above the base FAR under this subsection 23.48.620.B.4 shall not exceed the gross square footage of floor area in the vulnerable masonry structures retained on the lot, and shall in no case exceed 0.5 FAR; and
b.
The vulnerable masonry structure shall be retained according to the provisions of subsection 23.58A.042.F.3 for a structure that qualifies as a vulnerable masonry structure TDR or TDP sending site, and the structure shall be retained on the lot for the life of the project.
5.
The additional chargeable floor area allowed as an increment above the base FAR for individual uses and features specified in this subsection 23.48.620.B may be combined, provided that in no case shall the total amount of additional chargeable floor area allowed above the base FAR exceed 1 FAR and in no case shall more than one increment of additional floor area be allowed for the same use or feature on the lot.
6.
Extra floor area achieved as provided for in Section 23.48.622 shall be chargeable floor area added above the increment of FAR allowed under the provisions of this subsection 23.48.620.B.
C.
Floor area exempt from FAR. In addition to the exempt floor area identified in subsection 23.48.020.B, the following floor area is exempt from FAR limits:
1.
The floor area contained in a Landmark structure subject to controls and incentives imposed by a designating ordinance if the owner of the Landmark has executed and recorded an agreement acceptable in form and content to the Landmarks Preservation Board providing for the rehabilitation and maintenance of the historically significant features of the structure including but not limited to a certificate of approval for the modification of the Landmark. This exemption does not apply to a lot from which a Landmark TDR or TDP has been transferred under Chapter 23.58A and does not apply for purposes of determining TDR or TDP available for transfer under Chapter 23.58A;
2.
Except in the SM-U/R 75-240 zone, uses identified in subsection 23.48.605.C, whether required or not, that meet the development standards of subsection 23.48.040.C;
3.
Except in the SM-U/R 75-240 zone, uses identified in subsection 23.48.605.C that abut and have access onto a mid-block corridor meeting the standards of subsection 23.48.640.F and the applicable standards in Section 23.58A.040;
4.
Floor area for an elementary school or a secondary school, which may include minimum space requirements for associated uses including but not limited to academic core functions, child care, administrative offices, a library, maintenance facilities, food service, interior recreation, and specialty instruction space, provided that;
a.
Prior to issuance of a Master Use Permit, the applicant shall submit a letter to the Director from the operator of the school indicating that, based on the Master Use Permit plans, the operator has determined that the development would meet the operator's specifications; and
b.
Prior to issuance of a building permit, the applicant shall submit a written certification by the operator to the Director that the operator's specifications have been met;
5.
Floor area used for theaters or arts facilities, which for the purposes of this Section 23.48.620 may be operated either by for-profit or not-for-profit organizations;
6.
Floor area in a vulnerable masonry structure included on a list of structures that meet specified criteria in a rule promulgated by the Director under Section 23.48.627, provided that the structure is retained for a minimum of 50 years according to the provisions that apply to a qualifying "vulnerable masonry structure" TDR or TDP sending site in subsection 23.58A.042.F.3;
7.
All gross floor area of a light rail transit station and related passenger amenities;
8.
All gross floor area of a human service use;
9.
Floor area in enclosed portions of a mid-block corridor or other enclosed open space feature that would be eligible for a bonus according to Section 23.48.624 on the lot where the feature is located. The exemption applies regardless of whether a floor area bonus is obtained;
10.
Up to a maximum of 50,000 square feet of the floor area occupied by a City facility, including but not limited to fire stations and police precincts, but not a City facility predominantly occupied by office use;
11.
Up to 25,000 square feet of a community center that is open to the general public for a minimum of six hours per day, five days per week, 42 weeks per year; and
12.
All gross floor area in child care centers.
D.
Additional increment of chargeable floor area above the maximum FAR. For all SM-U zones, an additional increment of 1.0 FAR is permitted above the maximum FAR of the zone for a lot that includes residential dwelling units that comply with all of the following conditions:
1.
Unit number and size. The structure includes a minimum of ten dwelling units that each have a minimum area of 900 gross square feet and include three or more bedrooms; and
2.
Amenity area. Each dwelling unit shall have access to an outdoor amenity area that is located on the same story as the dwelling unit and meets the following standards:
a.
The amenity area has a minimum area of 1300 square feet and a minimum horizontal dimension of 20 feet; and
b.
The amenity area must be common amenity area, except that up to 40 percent of the amenity area may be private provided that the private and common amenity area are continuous and are not separated by barriers more than 4 feet in height; and the private amenity areas are directly accessible from units meeting these requirements; and
c.
The common amenity area includes children's play equipment; and
d.
The common amenity area is located at or below a height of 85 feet.
(Ord. 126685, § 30, 2022 [cross-reference update]; Ord. 126131, § 10, 2020; Ord. 125791, § 72, 2019; Ord. 125603, § 39, 2018; Ord. 125432, § 13, 2017; Ord. 125267, § 26, 2017.)
A.
Means to achieve extra floor area above the base FAR, or above the additional increment of chargeable floor area allowed above the base FAR by subsection 23.48.620.B
1.
General. The applicant shall:
a.
Achieve 65 percent of the extra floor area on the lot by using bonus residential floor area for affordable housing pursuant to Section 23.58A.014 or bonus non-residential floor area for affordable housing and child care pursuant to Section 23.58A.024; and
b.
Achieve 35 percent of the extra floor area through the use of one or more of the following options:
1)
Acquiring open space, Landmark, or vulnerable masonry TDR or TDP according to Sections 23.48.623 and 23.58A.042; or
2)
Providing open space amenities according to Sections 23.48.624 and 23.58A.040.
2.
Extra floor area in mixed-use projects. In a project that exceeds the base FAR, or exceeds the increment of additional chargeable floor area allowed above the base FAR under subsection 23.48.620.B, and that includes both residential and non-residential uses, the amount of extra residential floor area and extra non-residential floor area to be obtained shall be calculated as follows:
a.
Relative to the total chargeable gross floor area of all uses in the project, determine the percentage that is in residential use and the percentage that is in non-residential use.
b.
Determine the total amount of extra floor area in the project above the base FAR, or above the increment of additional chargeable floor area allowed above the base FAR under subsection 23.48.620.B, and, using the percentages derived in subsection 23.48.622.A.2.a, divide this total amount to determine the share of extra floor area that is to be obtained as extra residential floor area and the share that is to be obtained as extra non-residential floor area according to the applicable provisions of the zone.
B.
Green building performance. Applicants for development containing any extra floor area in SM-U zones shall make a commitment that the proposed development will meet the green building standard and shall demonstrate compliance with that commitment, all in accordance with Chapter 23.58D.
(Ord. 126685, § 31, 2022 [cross-reference update]; Ord. 125267, § 26, 2017.)
A.
General standards
1.
For the purposes of this Section 23.48.623, the transfer of development rights to gain extra non-residential floor area in a project on a receiving site is TDR and the transfer of development potential to gain extra residential floor area in a project on a receiving site is TDP.
2.
The following types of TDR and TDP may be transferred to the extent permitted in Table A for 23.48.623, subject to the limits and conditions of this Chapter 23.48 and the standards for the use of TDR and TDP in Section 23.58A.042:
a.
Landmark TDR and TDP;
b.
Open space TDR and TDP; and
c.
Vulnerable masonry structure TDR and TDP.
B.
Sending sites. Eligible sending site locations are shown on Table A for 23.48.623. Eligible TDR and TDP sending sites shall meet the definition of an open space, vulnerable masonry structure, or Landmark TDR or TDP sending site in Chapter 23.84A and comply with all applicable standards in this Chapter 23.48 and Section 23.58A.042.
C.
Receiving sites. Receiving site locations are shown on Table A for 23.48.623. Only lots zoned SM-U within the University Community Urban Center west of 15 th Avenue NE are eligible receiving sites, and the amount of extra floor area that can be gained through the use of TDR and TDP on an eligible receiving site is specified in Section 23.48.622.
D.
Except as provided in subsection 23.47A.009.E.2.b, the maximum amount of TDR and TDP that can be transferred from an eligible sending site shall not exceed an amount of floor area equivalent to the numerical value of the base FAR of the zone in which the sending site is located, as shown on Table A, Table B, and Table C for 23.48.620, multiplied by the lot area of the sending site and minus the sum of any chargeable floor area on the lot plus any TDR and TDP previously transferred.
(Ord. 125267, § 26, 2017.)
A.
In SM-U zones, extra floor area may be gained above the base FAR specified for the zone in Section 23.48.620 in projects that provide publicly accessible open space amenities in accordance with Section 23.58A.040 and subject to the limits and conditions of Section 23.48.622 and this Section 23.48.624.
B.
The following open space amenities are eligible for a floor area bonus to gain an amount of extra floor area specified in Section 23.48.622:
1.
Neighborhood open space;
2.
Green street improvements on designated Neighborhood Green Streets shown on Map A for 23.48.640;
3.
Green street setback on lots abutting a designated Neighborhood Green Street shown on Map A for 23.48.640; and
4.
Mid-block corridor.
C.
To be eligible for a floor area bonus, open space amenities shall comply with the applicable development standards and conditions specified in Section 23.58A.040, except that for a mid-block corridor, in addition to the conditions of Section 23.58A.040, the provisions of subsection 23.48.640.E apply.
(Ord. 125267, § 26, 2017.)
A.
Lots located on the same block in any SM-U zone may be combined, whether contiguous or not, solely for the purpose of allowing some or all of the capacity for chargeable floor area on one or more such lots under this Chapter 23.48 to be used on one or more other lots, according to the provisions of this Section 23.48.627.
B.
The applicable FAR for all lots in a combined lot development where all lots are located in the same zone shall be based on the height limit that applies to the tallest structure proposed in the combined lot development.
C.
If the lots of a combined lot development are located in different zones, the FAR for any lot shall be the applicable FAR of the zone in which it is located, based on the height of the structure proposed on the lot.
D.
In the SM-U 75-240 and SM-U 95-320 zones, any structure exceeding the height limit for midrise structures in a combined lot development must be located on an individual lot that meets the minimum size requirements of subsection 23.48.615.A.2.
E.
In a combined lot development that includes a lot in the SM-U/R zone, the amount of floor area in non-residential uses on any individual lot in the SM-U/R zone cannot exceed the FAR limit for non-residential uses on Table B for 23.48.620 as applied to that lot individually.
F.
Within the combined lot, the permitted chargeable floor area from one lot, referred to in this Section 23.48.627 as the "reduced lot," may be allowed on one or more other lots on the same block, referred to in this Section 23.48.627 as the "increased lot(s)," up to the maximum FAR limit.
G.
Gross floor area allowed on the increased lot shall be allowed in the following order:
1.
The first amount of gross floor area allowed on the increased lot shall be the chargeable floor area allowed up to the base FAR calculated on the increased lot, minus any existing chargeable floor area on the lot, and shall not be considered extra floor area.
2.
The second amount of gross floor area allowed on the increased lot shall be all gross floor area allowed above the base FAR up to the maximum FAR calculated on the increased lot and shall be considered extra floor area.
3.
The third amount of gross floor area allowed on the increased lot shall be all gross floor area allowed above the base FAR up to the maximum FAR calculated on the reduced lot and shall be considered extra floor area.
4.
The last amount of gross floor area allowed on the increased lot shall be all gross floor area allowed below the base FAR calculated on the reduced lot, minus any existing chargeable floor area on the lot, and shall not be considered extra floor area.
H.
The fee owners of each lot within the combined lot shall execute an agreement or instrument, which shall include the legal descriptions of each lot and shall be recorded in the King County Recorder's Office. In the agreement or instrument, the owners shall acknowledge the extent to which development capacity on the reduced lot shall be reduced by the use of chargeable floor area on the increased lot. The agreement or instrument shall also provide that such standards and conditions in this Section 23.48.627 shall covenant and run with the land and shall be specifically enforceable by the parties and by The City of Seattle.
I.
Development on any lot in a combined lot development shall not exceed or deviate from height limits or other development standards, except as specified in this Section 23.48.627.
(Ord. 125267, § 26, 2017.)
A.
The Director shall promulgate a rule listing the structures that meet the following eligibility criteria as a "vulnerable masonry structure" (VMS) TDR or TDP sending site under subsection 23.58A.042.F and that, as a vulnerable masonry structure, are exempt from the calculations for chargeable FAR under subsection 23.48.620.C.6:
1.
The structure is included in the Department of Neighborhoods Historic Resource Survey and has an assigned status classification as either Yes-Inventory or Yes-Hold; and
2.
The structure has unreinforced masonry bearing walls and is included in the list of unreinforced masonry structures (URMs) identified by the Department in April 2016, or any subsequent list pursuant to subsection 23.48.630.B. with a classification of Critical Risk (C), High Risk (H), or Medium Risk (M).
B.
The Director shall periodically update the list to respond to changed conditions and remove or add structures to the list to maintain consistency with the criteria specified in subsection 23.48.630.A.
(Ord. 125267, § 26, 2017.)
A.
Required setbacks in SM-U zones
1.
In the SM-U 85, SM-U 75-240, and SM-U 95-320 zones, a setback is required from specified street lot lines as shown on Table A for 23.48.640. If the required setback allows for averaging the depth of the setback from the street lot line, any setback area further than 10 feet from the street lot line shall not be included in the averaging calculation.
2.
All setback areas required by subsection 23.48.640.A.1 shall either be part of a usable open space or be landscaped according to standards in subsection 23.48.055.A.3, except that for setbacks required from lot lines abutting NE 45 th Street and NE 50 th Street, no landscaping is required if the setback area is paved to match the abutting sidewalk, and the Director, after consulting with the Director of the Seattle Department of Transportation, determines that the paved setback area will not conflict with Seattle Department of Transportation standards for the abutting sidewalk.
3.
Required setbacks in the SM-U/R 75-240 zone. On all streets in the SM-U/R 75-240 zone, an average setback of 5 feet is required from all street lot lines, subject to the following:
a.
No setback shall be less than 3 feet from the street lot line, and any setback area further than 10 feet from the street lot line shall not be included in the averaging calculation.
b.
The setback area shall either be part of a usable open space or landscaped according to standards in subsection 23.48.055.A.3.
4.
Underground structures are permitted in all required setback areas.
5.
Bay windows, canopies, horizontal projection of decks, balconies with open railings, eaves, cornices, gutters, and other similar architectural features that are at least 13 feet above the sidewalk elevation are permitted to extend up to 4 feet into the required setback.
6.
Setback areas eligible for floor area bonus. Areas provided as required street-level setbacks under this subsection 23.48.640.A that abut a designated Neighborhood Green Street shown on Map A for 23.48.640 are eligible for a floor area bonus as a green street setback, provided that the setback area complies with the development standards and conditions in Section 23.58A.040 for a green street setback.
B.
Setback requirements for street-level residential units and live-work units. In all SM-U zones, if a structure contains street-level, street-facing residential units or live-work units, facades that contain those uses shall set back an average of 7 feet from the street lot line, subject to the following:
1.
No setback shall be less than 5 feet from the street lot line, and any setback area further than 15 feet from the street lot line shall not be included in the averaging calculation.
2.
The following is permitted in the required setback area:
a.
Landscaped area accessible from individual dwelling units or from the principal entrance to the structure;
b.
Private or common useable open space or amenity area; and
c.
Unenclosed stoops, steps, decks, or porches related to the abutting residential or live-work units that are no higher than 4 feet above sidewalk grade, excluding hand rails and guard rails.
3.
Bay windows, canopies, horizontal projection of decks, balconies with open railings, eaves, cornices, gutters, and other similar architectural features that are at least 13 feet above the sidewalk elevation are permitted to extend up to 4 feet into the required setback.
C.
Transparency and blank facade standards. The transparency requirements and blank facade limits in subsection 23.48.040.B apply to all street-facing facades in the SM-U zone.
D.
Required street-level uses. Street-level uses listed in subsection 23.48.605.C and meeting the standards of subsection 23.48.040.C are required along the street frontages of the streets shown on Map A for 23.48.605.
Map A for 23.48.640
Street Classifications
E.
Mid-block corridor
1.
Required mid-block corridor
a.
In the area shown on Map B for 23.48.640, lots that meet the following criteria are required to provide a mid-block corridor:
1)
The lot exceeds 30,000 square feet in area and abuts two north/south streets. Lots exceeding 30,000 square feet that are separated only by an alley and that are developed as a combined lot development under Section 23.48.627 are also required to provide a mid-block corridor to connect the two abutting north/south streets; and
2)
The lot has a street frontage that exceeds 250 feet on at least one of the abutting north/south streets.
Map B for 23.48.640
Area requiring mid-block corridors
b.
On lots where a mid-block corridor is required in subsection 23.48.640.E.1, the following standards shall apply:
1)
The mid-block corridor shall provide an unobstructed, continuous pedestrian pathway that extends across the lot and any separating alley to connect both of the abutting streets, and if entrances include doors or gates, public access shall be provided as required for a mid-block corridor eligible for a floor area bonus in subsection 23.58A.040.C.4.a;
2)
The alignment of the pedestrian corridor and the point at which it intersects each street shall be no closer than 150 feet to an east/west street abutting the block;
3)
Entrances to the corridor at the street shall be accessible to pedestrians at grade level from the sidewalk, and the length of the corridor shall be at ground level, except that minor changes in grade are permitted to accommodate conditions on sloping sites, provided that all segments of the corridor are physically and visually connected and accessible to persons with disabilities;
4)
The average width of the corridor shall be 25 feet, with a minimum width of 15 feet. Any completely covered segment of the pedestrian corridor shall have a minimum width of 20 feet;
5)
The corridor shall include at least one usable open space with a minimum area of 1,500 square feet and a minimum horizontal dimension of 30 feet;
6)
The corridor shall be open to the sky, except that up to 35 percent of the length of the corridor may be covered and enclosed if located on private property, provided the minimum height of covered portions is 13 feet;
7)
If the pedestrian corridor crosses an alley, the alley right-of-way shall be improved for pedestrian safety and to reinforce the connection between portions of the corridor on either side of the alley; and
8)
The corridor shall include lighting for pedestrian safety during all hours that the corridor is available for public use.
c.
The Director may allow modifications from the standards for mid-block corridors in subsection 23.48.640.E.1.b as a Type I decision if the applicant demonstrates that alternative treatments will better serve the development by enhancing pedestrian comfort, better integrating the feature as part of the surrounding pedestrian network, and promoting greater use of the connection.
d.
The mid-block corridor requirement may be waived by the Director as a Type I decision if the Director has determined that one or more of the following conditions apply:
1)
A mid-block corridor already exists on the block and, given the proximity to the proposed development site, an additional corridor would not significantly enhance pedestrian circulation in the area and could detract from pedestrian activity on the street; or
2)
The location of existing buildings or amenities retained on the lot, such as a Landmark structure, make the inclusion of a mid-block corridor impractical or undesirable.
2.
Optional mid-block corridor. A mid-block corridor that is provided on a lot in an SM-U/R 75-240, SM-U 75-240, or SM-U 95-320 zone that is not within the area shown on Map B for 23.48.640, or that is on a lot within the area shown on Map B for 23.48.640 but is not required because of the lot size, is eligible for the mid-block corridor floor area bonus under the provisions of Section 23.48.624, provided that the corridor meets the standards in subsection 23.48.640.E.1.b and applicable standards in Section 23.58A.040.
3.
A mid-block corridor provided under this subsection 23.48.640.E, whether required or not, is eligible to qualify as amenity area for residential uses under Section 23.48.045, or required usable open space under subsection 23.48.650.C, or both, provided the applicable standards of Section 23.48.045 and subsection 23.48.650.C are met.
4.
A mid-block corridor provided according to the provisions of this subsection 23.48.640.E shall also qualify as required open space in Section 23.48.650, provided that the mid-block corridor meets the standards in Section 23.48.650.
F.
Overhead weather protection
1.
Continuous overhead weather protection, provided by such features as canopies, awnings, marquees, and arcades, is required along at least 60 percent of the street frontage of a structure, except that any portions of the street frontage occupied by residential dwelling units and any portion of a designated Landmark structure or vulnerable masonry structure shall not be included as part of the street frontage subject to this requirement.
2.
The covered area shall extend a minimum of 6 feet from the structure, unless otherwise provided in this subsection 23.48.640.F, and unless there is a conflict with existing or proposed street trees or utility poles, in which case the Director may adjust the width to accommodate such features as provided for in subsection 23.48.640.F.6.
3.
The overhead weather protection must be provided over the sidewalk, or over a walking area within 10 feet immediately adjacent to the sidewalk. When provided adjacent to the sidewalk, the covered walking area must be within 18 inches of sidewalk grade and meet Washington State requirements for barrier-free access.
4.
For overhead weather protection extending up to 6 feet from the structure, the lower edge of the overhead weather protection shall be a minimum of 8 feet and a maximum of 13 feet above the sidewalk or covered walking area. For weather protection extending more than 6 feet from the structure, the lower edge of the weather protection shall be a minimum of 10 feet and a maximum of 15 feet above the sidewalk or covered walking area.
5.
Lighting for pedestrians shall be provided. The lighting may be located on the facade of the building or on the overhead weather protection.
6.
Where the standards listed in this subsection 23.48.640.F conflict with the vertical and horizontal clearance requirements in the street right-of-way, the standards may be modified by the Director as a Type I decision in consultation with the Director of Transportation.
A.
Highrise floor area limits. All highrise structures are subject to a limit on the floor area of stories above 45 feet in height except that, on a lot that includes a light rail transit station, the limit on floor area only applies to stories above 55 feet in height.
1.
The height above which the highrise floor area limit applies is measured from the average grade level. Stories that do not exceed 45 feet in height or, on a lot that includes a light rail transit station, stories that do not exceed 55 feet in height, are not subject to a floor area limit.
2.
Highrise floor area limits in the SM-U 75-240 and SM-U 95-320 zones are shown on Table A for 23.48.645.
3.
In the SM-U/R 75-240 zone, for highrise structures, the gross floor area limit of stories or portions of stories that extend above 45 feet in height is 10,500 square feet.
4.
In the SM-U 75-240 and SM-U 95-320 zones, for stories subject to a floor area limit under subsection 23.48.645.A.2, the average and maximum gross floor area limit is 24,000 square feet up to 160 feet if the following apply:
a.
For each story subject to a floor area limit up to 160 feet in height, a minimum of 50 percent of the floor area is in research and development laboratory uses; and
b.
The minimum floor-to-floor height of each story subject to a floor area limit up to 160 feet in height is 14 feet.
B.
Upper-level setbacks in SM-U 75-240 and SM-U 95-320 zones. The following upper-level setbacks are required, and the height above which the setback is required shall be measured from the midpoint of the lot line from which the setback is required:
1.
On lots that do not include highrise structures, an average setback of 10 feet is required from all abutting street lot lines for any portion of a structure that exceeds 65 feet in height. The maximum depth of a setback that can be used for calculating the average is 20 feet.
2.
For a lot that is across a street from a lot in a LR zone or a MR zone, portions of any structure above 65 feet in height are required to set back an average of 10 feet from any portion of the street lot line that abuts the separating street. The maximum depth of a setback that can be used for calculating the average is 20 feet.
3.
For a lot in the SM-U 95-320 zone that abuts a lot in a MR zone, portions of any structure above 65 feet in height are required to set back a minimum of 15 feet from the abutting lot line.
C.
Upper-level setbacks in the SM-U/R 75-240 zone. The minimum required upper-level setbacks in the SM-U/R 75-240 zone are shown on Table B for 23.48.645.
D.
Side lot line setbacks. In the SM-U 75-240 and SM-U 95-320 zones, a minimum setback of 15 feet is required from any side lot line that is not a street or alley lot line for all portions of a highrise structure exceeding the midrise height limit of the zone.
E.
Separation. On lots with structures that exceed the midrise height limit, excluding rooftop features otherwise allowed above the height limit by subsection 23.48.025.C, separation between structures or portions of the same structure is required as follows:
1.
On separate lots. A minimum separation of 75 feet is required between highrise portions of structures on a lot and any existing highrise structures located on a separate lot in the same block, as shown on Exhibit A for 23.48.645; and
2.
Within a lot. A minimum separation of 75 feet is required between any highrise portion of a structure and all other portions of the same structure that exceed 45 feet in height, or portions of other structures on the lot that exceed 45 feet in height, as shown on Exhibit A for 23.48.645.
Exhibit A for 23.48.645
Required separation between highrise structures
3.
For the purposes of this subsection 23.48.645.E, the separation requirements for lots separated by an alley that are combined under the provisions of Section 23.48.627 shall be applied according to subsection 23.48.645.E.1, as if the lots were separate lots on the same block.
4.
If the presence of an existing highrise structure would preclude the addition of another highrise structure on a different block front of the same block, the Director may, as a special exception according to Chapter 23.76, reduce the required separation of this subsection 23.48.645.E by up to 20 percent. In determining the amount of reduction in separation allowed, the Director shall consider the following factors that may support the reduction in separation between structures and offset any related impacts:
a.
The potential impact of the additional highrise structure on adjacent structures located within the same block and on adjacent blocks, in terms of views, privacy, and shadows;
b.
Potential public benefits related to the development that offset the impact of the reduction in required separation between structures, such as the provision of public open space, improvements to a designated green street, or other streetscape improvements, or the preservation of a Landmark structure;
c.
The potential impact on the public environment, including shadow and view impacts on nearby streets and public open spaces; and
d.
Design characteristics of the additional structure, such as overall bulk and massing, orientation, facade treatments and transparency, visual interest, and other features that address the relationship between the two structures.
5.
For purposes of this subsection 23.48.645.E, a highrise structure is considered to be "existing" and must be taken into consideration when other highrise structures are proposed, under any of the following circumstances:
a.
The highrise structure is physically present, except that a highrise structure that is physically present is not considered "existing" if the owner of the lot where the highrise structure is located has applied to the Director for a permit to demolish the highrise structure and provided that no building permit for the proposed highrise structure is issued until the demolition of the highrise structure that is physically present has been completed;
b.
The highrise structure is a proposed highrise structure for which a complete application for a Master Use Permit or building permit has been submitted, provided that:
i.
The application has not been withdrawn or cancelled without the highrise structure having been constructed; and
ii.
If a decision on that application has been published or a permit on the application has been issued, the decision or permit has not expired, and has not been withdrawn, cancelled, or invalidated, without the highrise structure having been constructed.
c.
The highrise structure is a proposed highrise structure for which a complete application for early design guidance has been filed and a complete application for a Master Use Permit or building permit has not been submitted, provided that the early design guidance application will not qualify a proposed highrise structure as an existing highrise structure if a complete Master Use Permit application is not submitted within 90 days of the date of the early design guidance public meeting if one is required, or within 90 days of the date the Director provides guidance if no early design guidance public meeting is required, or within 150 days of the first early design guidance public meeting if more than one early design guidance public meeting is held.
F.
Projections. The first 4 feet of horizontal projection of decks, balconies with open railings, eaves, cornices, gutters, and similar architectural features are permitted in the upper-level setbacks required in subsections 23.48.645.B, 23.48.645.C, and 23.48.645.D, and in the separation area required in subsection 23.48.645.E.
A.
In all SM-U zones, for all structures on lots exceeding 12,000 square feet, facade modulation is required for the street-facing facade within 10 feet of a street lot line, except as specified in subsection 23.48.646.B.
B.
Modulation is not required for the following:
1.
For portions of the street-facing facade of a story that is less than 4 feet above sidewalk grade, as measured to the top of the floor above the partially below-grade story;
2.
For structures on a lot in the SM-U/R 75-240 zone that exceed 75 feet in height;
3.
For stories above street level that include parking that is separated from the street lot line by other uses along all street frontages; and
4.
For the portion of the street-facing facade that does not exceed a width of 100 feet above 45 feet in height.
C.
The maximum length of an unmodulated facade for midrise structures in SM-U 75-240 and SM-U 95-320 zones and for all structures in the SM-U 85 zone is prescribed in Table A for 23.48.646, and the maximum length of an unmodulated facade for highrise structures in the SM-U 75-240 and SM-U 95-320 zones is prescribed in Table B for 23.48.646. This maximum length shall be measured parallel to each street lot line, and shall apply to any portion of a facade, including projections such as balconies, that is located within 10 feet of street lot lines.
D.
If a portion of a street-facing facade within 10 feet of the street lot line extends to the maximum length permitted for an unmodulated facade, any further increase in the length of the facade is allowed only if the additional portions of the facade set back a minimum of 10 feet from the street lot line for a minimum length of 20 feet. If the required setback is provided, additional portions of the facade may be located within 10 feet of the street lot line. Permitted projections within the setback area are limited to the following:
1.
Roof eaves, including gutters and roof cornices and other similar architectural features, that may extend a maximum of 18 inches into the setback area; and
2.
Overhead weather protection, whether required by subsection 23.48.640.H or not.
A.
Open space meeting the standards of this Section 23.48.650 is required in all SM-U zones for development on a lot exceeding 30,000 square feet.
B.
Open space required by subsection 23.48.650.A shall meet the following standards:
1.
The minimum amount of required open space shall be equal to 15 percent of the lot area.
2.
Area qualifying as required open space may include both unenclosed usable open space and limited amounts of enclosed areas, as provided for in this subsection 23.48.650.B and as specified in Table A for 23.48.650.
3.
Minimum area. The required open space shall generally be provided as one connected area that is accessible at street level, with variations in elevation allowed to accommodate changes in topography or to provide for features such as ramps that improve access for persons with disabilities. If the required amount of open space exceeds 4,500 square feet, open space areas may be provided at separate locations on the lot, provided that no separate area is less than 2,000 square feet.
4.
The average horizontal dimension for an area qualifying as the required unenclosed usable open space is 20 feet, and the minimum horizontal dimension is 10 feet.
5.
Area provided as usable open space shall be open to the sky and directly accessible from an abutting street, with no structures containing floor area separating this portion of the required open space area from the street frontage, in order to allow both visual and physical access to the space for pedestrians from the street.
6.
Open space provided as unenclosed space covered overhead by the structure for weather protection shall abut a street lot line and be open and accessible to pedestrians along the sidewalk. The area shall have an average horizontal dimension of 10 feet and a minimum horizontal dimension of 5 feet, and the minimum vertical clearance of the covered space shall be 20 feet.
7.
Open space provided as enclosed interior space, such as a public atrium, a shopping atrium, winter garden, or covered portion of a mid-block pedestrian corridor, shall meet all of the following requirements:
a.
The space shall have direct access for pedestrians, including persons with disabilities, from the street, or from an outdoor, usable public open space abutting the street;
b.
The space shall be provided as one continuous area that is a minimum of 2,000 square feet in size, with an average horizontal dimension of 20 feet and a minimum horizontal dimension of 10 feet. Enclosed area that abuts and is accessible to exterior open space is not considered a separate area for the purposes of determining the minimum area requirements of subsection 23.48.650.B.3;
c.
The minimum floor-to-ceiling height of any enclosed area is 15 feet; and
d.
Space, such as lobby area and corridors used solely to provide access between the structure's principal street entrance and elevators, does not qualify as enclosed interior open space for the purposes of this subsection 23.48.650.B.7.
8.
All areas provided as open space under this Section 23.48.650 shall be accessible to persons with disabilities.
9.
Features provided under this subsection 23.48.650.B are eligible to qualify as amenity area for residential uses required by Section 23.48.045, provided the standards of that Section 23.48.045 are met.
10.
Features provided under this subsection 23.48.650.B that satisfy the requirements for open space amenities in Section 23.48.624 and Section 23.58A.040 are eligible for a floor area bonus to gain extra floor area according to the provisions of Section 23.48.622.
11.
Usable open space satisfying the requirements of this subsection 23.48.650.B may be provided on a site other than the project site, provided that the following conditions are met:
a.
The alternate open space site is located within an SM-U zone and within 500 feet of the project site;
b.
The minimum area of the usable open space at the alternate site is 4,500 square feet;
c.
The minimum size of the open space on an alternate site and the maximum distance from the project may be increased or decreased for a project if the Director determines, as a Type I decision, that such adjustments are reasonably necessary to provide for open space that will meet the additional need for open space caused by the project, enhance public access to the open space, and/or allow for a significant share of the required open space to also be accommodated on the project site.
d.
The owner of any lot on which off-site open space is provided to meet the requirements of this subsection 23.48.650.B shall execute and record an easement in a form acceptable to the Director assuring compliance with the requirements of this Section 23.48.650. The Director is authorized to accept such an easement, provided that the terms do not impose any costs or obligations on the City.
12.
Usable open space provided on a site other than the project site according to subsection 23.48.650.B.11 that satisfies the requirements for a neighborhood open space in Section 23.58A.040 is eligible for a floor area bonus to gain extra floor area according to the provisions of Section 23.48.622.
A.
Off street parking spaces and bicycle parking are required according to Section 23.54.015.
B.
Maximum parking limit for non-residential uses
1.
Except as provided in subsection 23.48.680.B.2, parking for non-residential uses is limited to one parking space per every 1,000 square feet of gross floor area in non-residential use.
2.
If on or before September 1, 2012, a lot is providing legal off-site parking for another lot, by means such as a recorded parking easement or off-site accessory parking covenant on the subject lot, then the number of such off-site parking spaces is allowed on the off-site lot in addition to one space per 1,000 square feet for non-residential uses on the subject lot.
(Ord. 125267, § 26, 2017.)
A.
Parking location within structures
1.
Except as provided in subsection 23.48.685.A.2, parking within structures, excluding driveway access and garage doors or openings, shall be located below the street-level story or separated from the street along all street frontages by another use. There is no limit on the number of stories of parking above the street-level story if the parking is separated along all street frontages of the structure by another use.
2.
On lots that are less than 24,000 square feet in size, or that are 103 feet in depth or less as measured from the lot line with the greatest street frontage, parking is permitted within structures above the street-level story as follows:
a.
One story of parking is permitted above the street-level story for every two stories of parking located below grade that, in combination, provide at least twice the capacity of the above grade story, up to a maximum of two stories of parking above the street-level story.
b.
Parking located on stories above the street-level story of a structure shall be separated from the street by other uses and screened as follows:
1)
A minimum of 30 percent of the length of the parking area measured along each street frontage shall be separated from the street by another use. For structures located at street intersections, the separation by another use shall be provided at the corner portion(s) of the structure.
2)
Any parking area that is not separated from the street by another use shall be enclosed by facades along all street frontages. Facades shall be designed to minimize the impacts of glare from vehicle headlights and interior garage lighting on pedestrian views from the street.
c.
The Director may permit more than two stories of parking above the street-level story of the structure, or waive the amount of parking required to be located below grade when parking is provided above the street-level story, or permit other exceptions to this subsection 23.48.685.A.2, as a Type I decision, if the Director finds that locating parking below grade is infeasible due to physical site conditions such as a high water table or proximity to a tunnel. In such cases, the Director shall determine the maximum feasible amount of parking that can be provided below grade, if any, and the amount of additional parking to be permitted above street level based on an assessment of the conditions that restrict an applicant from providing the parking below grade, such as the depth and dimensions of an underground tunnel. The rationale that a site is too small to accommodate parking below grade is not a basis for granting an exception under this subsection 23.48.685.A.2.c.
B.
Accessory surface parking shall be separated from all street lot lines by another use within a structure, except that driveway access need not be separated.
(Ord. 125267, § 26, 2017.)
A.
The Director may recommend that the Council approve a development agreement pursuant to chapter 36.70B RCW for real property that includes land zoned SM-U within the University Community Urban Center.
B.
The Director's recommendation shall be informed by an urban design framework that the Director has developed through a community involvement process.
C.
The proposed development agreement shall be for the development of real property that achieves one of more of the following key design and development objectives of the urban design framework:
1.
The addition of significant public open space in the neighborhood core near the proposed transit station;
2.
Better integration of new development with light rail transit facilities;
3.
Enhanced pedestrian circulation;
4.
Retention of key elements defining neighborhood character, including designated Landmark structures and other historic resources;
5.
Strengthening and revitalization of the historic pedestrian-oriented business district;
6.
Green storm water infrastructure exceeding requirements in Chapter 22.800;
7.
District heating and cooling;
8.
Improved urban form; and
9.
Increased diversity in building types, mix of activities, and the range of employment activities and household types accommodated in the area.
D.
Nothing in this Section 23.48.690 limits the Council's authority to enter into a development agreement authorized by chapter 36.70B RCW in situations other than those described in subsection 23.48.690.C.
(Ord. 125267, § 26, 2017.)
The provisions in Sections 23.48.702 through 23.48.785 of the SM-UP zones are in addition to and supplement the provisions of Sections 23.48.005 through 23.48.095. In cases of conflicts between these Sections 23.48.005 through 23.48.095, the provisions in the SM-UP zones apply.
(Ord. 125432, § 14, 2017.)
A.
When a development is proposed that is expected to generate 50 or more employee single-occupant vehicle (SOV) trips in any one p.m. hour, the applicant shall prepare and implement a Transportation Management Program (TMP) consistent with requirements for TMPs in any applicable Director's Rule.
1.
For purposes of measuring attainment of SOV goals contained in the TMP, the proportion of SOV trips shall be calculated for the p.m. hour in which an applicant expects the largest number of vehicle trips to be made by employees and students at the site (the p.m. peak hour of the generator). The proportion of SOV trips shall be calculated by dividing the total number of employees and students using an SOV to make a trip during the expected peak hour by the total number of employee and student person trips during the expected peak hour.
2.
Compliance with this section does not supplant the responsibility of any employer to comply with Seattle's Commute Trip Reduction (CTR) Ordinance.
B.
An applicant who proposes multifamily development that is expected to generate 50 or more vehicle trips in any one p.m. hour or demand for 25 or more vehicles parking on the street overnight shall prepare and implement a TMP. The TMP shall be consistent with requirements for TMPs in any applicable Director's Rule. For purposes of measuring attainment of the SOV goal, the proportion of SOV trips shall be calculated for the p.m. hour in which an applicant expects the largest number of vehicle trips to be made by residents of the site (the p.m. peak hour of the generator). The proportion of SOV trips shall be calculated by dividing the total number of residential trips made by SOV during the expected peak hour by the total number of residential person trips.
C.
Each owner subject to the requirements of this section shall prepare a TMP as described in rules promulgated by the Director, as part of the requirements for obtaining a master use permit.
D.
The TMP shall be approved by the Director if, after consulting with Seattle Department of Transportation, the Director determines that the TMP measures are likely to achieve the mode-share targets for trips made by travel modes other than driving alone for the Uptown Urban Center in 2035 that are contained in Seattle's Comprehensive Plan's Transportation Element.
(Ord. 125432, § 14, 2017.)
A.
General provisions. Except as otherwise specified in this subsection 23.48.720.A, FAR limits for SM-U zones are as shown in Table A for 23.48.720.
B.
Additional increment of floor area above the maximum FAR. On lots that include uses or features specified in this subsection 23.48.720.B, an additional amount of chargeable floor area is permitted above the maximum FAR as follows:
1.
For all SM-UP zones an additional amount of 1 FAR is permitted above the maximum FAR of the zone shown on Table A for 23.48.720 if a lot includes one or more structures that have been designated as landmarks pursuant to Chapter 25.12, subject to the following conditions:
a.
The structure is rehabilitated so that all features and characteristics are subject to controls and incentives designated pursuant to Chapter 25.12 and comply with any certificates of approval issued by the Landmarks Preservation Board, all as determined by the Director of the Department of Neighborhoods;
b.
A notice is recorded in the King County real estate records, in a form satisfactory to the Director, regarding the additional increment of floor area allowed and the effect thereof under the terms of this Chapter 23.48;
c.
A Landmark structure that obtains additional FAR under this subsection 23.48.720.B.1 may not be a sending site for Landmark transferable development rights (TDR) or for transferable development rights (TDP);
d.
If the increased amount of FAR allowed under this subsection 23.48.720.B.1 remains on the lot, the structure must remain designated as a Landmark; and
e.
The owner shall maintain the exterior and interior of the Landmark structure in good condition in a manner that preserves the Landmark features and characteristics of the structure.
2.
For SM-UP zones, an additional increment of up to 1 FAR is permitted above the maximum FAR limit of the zone if a lot includes an arts facility operated by a for-profit or not-for-profit operator, subject to the following conditions:
a.
The amount of the additional increment of FAR shall not exceed floor area of the arts facility.
b.
The minimum floor area provided for a qualifying arts facility is 2,500 square feet.
c.
The space shall be occupied by an arts facility for the life of the project on the lot. If the property owner is unable to secure a for-profit or not-for-profit organization to operate the arts facility, after a six-month period, if the space remains unoccupied, it may be used for other non-profit purposes such as a community and/or public area, under the following conditions:
1)
The space shall be made available to community and charitable organizations and is not to be used for profit-making activities;
2)
The space shall be made available for both day and evening use;
3)
The space shall be made available on a first-come, first-served basis to community and charitable organizations; and
4)
Availability of the space and contact person(s) shall be made known to community and charitable groups through means such as newspaper articles, radio announcements, and flyers.
d.
No permit after the first building permit, no permit for any construction activity other than excavation and shoring, and no permit for occupancy of existing floor area by any use shall be issued for development that includes an arts facility to gain the increase in FAR until the applicant has demonstrated to the satisfaction of the Director that a lease with a for-profit or not-for-profit arts organization has been secured to occupy the space for a minimum of one year.
3.
For SM-UP zones, an additional increment of up to 1 FAR is permitted above the maximum FAR limit of the zone if a lot includes a preschool, an elementary school, or a secondary school, subject to the following conditions:
a.
Prior to issuance of a Master Use Permit, the applicant shall submit a letter to the Director from the school indicating that, based on the Master Use Permit plans, the school district has determined that the development could meet the operator's specifications;
b.
Prior to issuance of a building permit, the applicant shall submit a written certification by the operator to the Director that the operator's specifications have been met; and
c.
Should the school use be discontinued and replaced by commercial use, the commercial use shall be considered development to which Chapter 23.58B applies, notwithstanding any contrary provision of subsection 23.58B.020.B.
4.
For all SM-UP zones, an additional increment of up to 1.0 FAR is permitted above the maximum FAR of the zone for a lot that includes residential dwelling units that comply with all of the following conditions:
a.
Unit number and size. The structure includes a minimum of ten dwelling units that each have a minimum area of 900 gross square feet and include three or more bedrooms; and
b.
Amenity area. Each dwelling unit shall have access to an outdoor amenity area that is located on the same story as the dwelling unit and meets the following standards:
1)
The amenity area has a minimum area of 1300 square feet and a minimum horizontal dimension of 20 feet; and
2)
The amenity area must be common amenity area, except that up to 40 percent of the amenity area may be private provided that the private and common amenity area are contiguous and are not separated by barriers more than 4 feet in height; and the private amenity areas are directly accessible from units meeting these requirements; and
3)
The common amenity area includes children's play equipment; and
4)
The common amenity area is located at or below a height of 85 feet.
C.
Floor area exempt from FAR. In addition to floor area that is exempt from FAR limits according to subsection 23.48.020.B, the following floor area is exempt from FAR limits:
1.
The floor area contained in a Landmark structure if the owner of the Landmark has executed and recorded an agreement acceptable in form and content to the Landmarks Preservation Board providing for the rehabilitation of the structure. This exemption does not apply to a lot from which a Landmark TDR or TDP has been transferred under Chapter 23.58A and does not apply for purposes of determining TDR or TDP available for transfer under Chapter 23.58A;
2.
All gross floor area in a child care center, an elementary school, or a secondary school;
3.
Floor area used for theaters or arts facilities, which for the purposes of this Section 23.48.720 may be operated either by for-profit or not-for-profit organizations;
4.
Floor area of street-level uses identified in subsection 23.48.005.D, whether required or not, that meet the development standards of subsection 23.48.040.C; and
5.
Floor area in a vulnerable masonry structure that is included on a list of structures that meet specified criteria in a rule promulgated by the Director under Section 23.48.627, provided that the structure is retained for a minimum of 50 years according to the provisions that apply to a qualifying vulnerable masonry structure TDR or TDP sending site in subsection 23.58A.042.F.3.
(Ord. 127099, § 28, 2024; Ord. 126685, § 32, 2022; Ord. 126157, § 33, 2020; Ord. 126131, § 11, 2020; Ord. 125432, § 14, 2017.)
A.
Means to achieve extra floor area above the base FAR
1.
General. The proposed development project shall:
a.
Achieve 65 percent of the extra floor area on the lot by using bonus residential floor area for affordable housing pursuant to Section 23.58A.014 or bonus non-residential floor area for affordable housing and child care pursuant to Section 23.58A.024; and
b.
Achieve 35 percent of the extra floor area through the use of one or more of the following options:
1)
Acquiring open space, Landmark, or vulnerable masonry structure TDR or TDP according to Sections 23.48.723 and 23.58A.042; or
2)
Providing open space amenities according to Sections 23.48.724 and 23.58A.040.
2.
Extra floor area in mixed-use projects. In a project that exceeds the base FAR, or exceeds the increment of additional chargeable floor area allowed above the base FAR under subsection 23.48.720.B, and that includes both residential and non-residential uses, the amount of extra residential floor area and extra non-residential floor area to be obtained is calculated as follows:
a.
Relative to the total chargeable gross floor area of all uses in the project, determine the percentage that is in residential use and the percentage that is in non-residential use.
b.
Determine the total amount of extra floor area in the project above the base FAR, or above the increment of additional chargeable floor area allowed above the base FAR under subsection 23.48.720.B, and, using the percentages derived in subsection 23.48.722.A.1, divide this total amount to determine the share of extra floor area that is to be obtained as extra residential floor area and the share that is to be obtained as extra non-residential floor area according to the applicable provisions of the zone.
B.
Minimum requirements. Development containing any extra floor area in the SM-UP 160 zone shall meet the minimum requirements for extra floor area in subsection 23.48.021.D.
A.
General standards
1.
The transfer of development rights (TDR) may be used to gain extra non-residential floor area on a receiving site, and the transfer of development potential (TDP) may be used to gain extra residential floor area in a project on a receiving site.
2.
The following types of TDR and TDP may be transferred within the Uptown Urban Center, subject to the limits and conditions of this Chapter 23.48 and the standards for the use of TDR and TDP in Section 23.58A.042:
a.
Landmark TDR and TDP;
b.
Open space TDR and TDP; and
c.
Vulnerable masonry structure TDR and TDP.
B.
Sending sites. Only sites within the Uptown Urban Center in the MR, LR3, or SM-UP zones are eligible sending sites. These sites must meet the definition of an open space, vulnerable masonry structure, or Landmark TDR or TDP sending site in Chapter 23.84A, and must comply with all applicable standards in this Chapter 23.48 and Section 23.58A.042.
C.
Receiving sites. Only sites in the SM-UP 160 zone are eligible receiving sites.
D.
Except as provided in subsection 23.47A.009.E.2.b, the maximum amount of floor area transferred by TDR and TDP from an eligible sending site may not exceed the maximum FAR of the zone in which the sending site is located, minus the sum of any chargeable floor area on the lot and any TDR and TDP previously transferred from the sending site.
(Ord. 125432, § 14, 2017.)
A.
In the SM-UP 160 zone, extra floor area may be gained above the base FAR specified for the zone in Section 23.48.720 in projects that provide open space amenities in accordance with Section 23.58A.040 and subject to the limits and conditions of Section 23.48.722 and this Section 23.48.724.
B.
Projects that include the following open space amenities are eligible for extra floor area as specified in Section 23.48.722:
1.
Green street improvements on designated Neighborhood Green Streets shown on Map A for 23.48.740;
2.
Green street setbacks on lots abutting a designated Neighborhood Green Street shown on Map A for 23.48.740;
3.
Mid-block corridor; and
4.
Neighborhood open space.
C.
To be eligible for a floor area bonus, open space amenities shall comply with the applicable development standards and conditions specified in Section 23.58A.040, except that for a mid-block corridor the provisions of subsection 23.48.740.C.2 apply in addition to the conditions of Section 23.58A.040.
A.
The Director shall promulgate a rule identifying structures that meet the following eligibility criteria as a vulnerable masonry structure TDR or TDP sending site under subsection 23.58A.042.F and that, as a vulnerable masonry structure, are exempt from the calculations for chargeable FAR under subsection 23.48.720.C.5:
1.
The structure has unreinforced masonry bearing walls and is included in the list of unreinforced masonry structures identified by the Department in April 2016, with a classification of Critical Risk (C), High Risk (H), or Medium Risk (M).
2.
The structure has been seismically retrofitted to comply with rules and regulations applicable to seismic retrofitting of vulnerable masonry structures.
B.
The Director shall periodically update the list to respond to changed conditions and remove or add structures to the list to maintain consistency with the criteria specified in subsection 23.48.730.A.
(Ord. 125432, § 14, 2017.)
A.
The maximum width and depth of a structure is 250 feet, except as provided in this Section 23.48.732. The width and depth limits do not apply to below-grade or partially below-grade stories having street-facing facades that do not extend more than 4 feet above the sidewalk, measured at any point above the sidewalk elevation to the floor above the partially below-grade story, other than locations of access to the building.
B.
For the stories of a structure subject to width and depth limits, all portions of the same story that are horizontally contiguous, including any portions connected by doorways, ramps, bridges, elevated stairways, and similar connections, are included in the measurement of width and depth. The width and depth limits of stories in separate structures or structures on the same lot that abut but are not internally connected are measured separately. Designated Landmark structures and structures that qualify as vulnerable masonry buildings according to Section 23.48.730 are exempt from the width and depth limits, whether internally connected to a new structure or not.
C.
Width and depth limits do not apply to stories of a structure having more than 50 percent of the total gross floor area of the story occupied by any of the following uses:
1.
Community clubs or community centers;
2.
Religious facilities;
3.
Arts facilities operated by a non-profit or for-profit organization or organizations;
4.
Elementary or secondary schools;
5.
Performing arts theaters; or
6.
Child care centers.
D.
Width and depth limits do not apply to any portion of a structure that is 55 feet or less in height and located on a lot that includes a light rail transit station.
A.
In all SM-UP zones, any portion of a structure greater than 45 feet in height or 65 feet in height must be set back from a lot line that abuts a designated street shown on Map A for 23.48.735. A setback of an average of 10 feet from the lot line is required for any portion of a structure exceeding the maximum height that is permitted without a setback.
Map A for 23.48.735
Upper-level setbacks
B.
Projections permitted in required upper-level setbacks. Horizontal projections, including decks, balconies with open railings, eaves, cornices, and gutters are permitted to extend a maximum of 4 feet into required setbacks as shown in Exhibit A for 23.48.735.
Exhibit A for 23.48.735
Horizontal projection into upper-level setbacks
Street-level development standards in Section 23.48.040 apply to all streets in the SM-UP zones. In addition, the following requirements apply:
A.
Street-level facade requirements; setbacks from street lot lines
Street-facing facades of a structure shall be built to the lot line except as follows:
1.
The street-facing facades of structures abutting Class 1 Pedestrian Streets, as shown on Map A for 23.48.740, shall be built to the street lot line for a minimum of 70 percent of the facade length, provided that the street frontage of any required outdoor amenity area, other required open space, or usable open space provided in accordance with subsections 23.48.740.B and 23.48.740.C is excluded from the total amount of frontage required to be built to the street lot line.
2.
If a building in the Uptown Urban Center faces both a Class 1 Pedestrian Street and a Class 2 Pedestrian Street a new structure is only required to provide a primary building entrance on the Class 1 Pedestrian Street.
Map A for 23.48.740
Pedestrian street classifications in Uptown
Exhibit A for 23.48.740
Percentage of facade at lot line
3.
For streets designated as Class II and Class III Pedestrian Streets and Green Streets as shown on Map A for 23.48.740, and as specified in subsection 23.48.740.B.1, the street-facing facade of a structure may be set back up to 12 feet from the street lot line subject to the following (as shown on Exhibit B for 23.48.740):
a.
The setback area shall be landscaped according to the provisions of subsection 23.48.055.A.3;
b.
Additional setbacks are permitted for up to 30 percent of the length of portions of the street-facing facade that are set back from the street lot line, provided that the additional setback is located 20 feet or more from any street corner; and
c.
Any required outdoor amenity area, other required open space, or usable open space provided in accordance with subsection 23.48.740.B is not considered part of the setback area and may extend beyond the limit on setbacks from the street lot line that would otherwise apply under subsection 23.48.740.B.
Exhibit B for 23.48.740
Street-level setbacks
B.
Required usable open space in the SM-UP 65, SM-UP 85, and SM-UP 160 zones
1.
In the SM-UP 65, SM-UP 85, and SM-UP 160 zones, on lots exceeding 30,000 square feet in area, proposed development shall provide usable open space as follows:
a.
The minimum amount of required usable open space shall be equal to 15 percent of the lot area and shall generally be accessible at street level, with variations in elevation allowed to accommodate changes in topography;
b.
The average horizontal dimension for any area qualifying as required usable open space is 20 feet, and the minimum horizontal dimension is 10 feet, except that there is no minimum horizontal dimension for additional pedestrian area abutting a sidewalk that is provided according to subsection 23.48.740.B.1.c;
c.
A minimum of 45 percent of the required usable open space shall be exterior space open to the sky and shall abut a street along at least one street frontage and provide both visual and physical access from the street lot line to pedestrians, including persons with disabilities;
d.
Up to a maximum of 20 percent of the required usable open space may be covered, if the open space abuts a street lot line and is open and accessible to pedestrians along the sidewalk;
e.
Up to a maximum of 35 percent of the required usable open space may be provided as enclosed space, such as atrium, a shopping atrium, wintergarden, or covered portion of a through-block pedestrian connection, if the enclosed open space meets all of the following requirements:
1)
Direct access is provided to pedestrians, including persons with disabilities, from the street, or from an outdoor, usable open space abutting the street;
2)
The space is provided as one continuous area that is a minimum of 2,000 square feet in size. Space, such as lobby area, that is used solely to provide access between the structure's principal street entrance and elevators, does not qualify as required usable open space;
3)
The minimum floor-to-ceiling height is 15 feet;
4)
The space is accessible to the public during normal business hours; and
f.
Up to a maximum of ten percent of the required usable open space may be provided as an area abutting a sidewalk that extends the pedestrian area onto the lot or accommodates landscaping or extensions of right-of-way green factor treatment. Minor changes between the sidewalk elevation and the elevation of the abutting sidewalk area are permitted to accommodate changes in topography, or to provide for features such as ramps that improve access for persons with disabilities.
2.
Usable open space provided under this subsection 23.48.740.B is eligible to qualify as either amenity area for residential uses under Section 23.48.045 or open space required for office use under Section 23.48.750, or both, provided the applicable standards of Sections 23.48.045 and 23.48.750 are met.
C.
Through-block pedestrian connections for large lot developments
1.
A through-block pedestrian connection meeting the standards of subsection 23.48.740.C.2 is required in the SM-UP 65, SM-UP 85, and SM-UP 160 zones for development described as follows:
a.
The development is located on a lot having a minimum lot area of 40,000 square feet; and
b.
The lot abuts the two north/south avenues for a minimum linear distance of 120 feet along each avenue.
2.
The required through-block pedestrian connection shall meet the following development standards:
a.
A continuous pedestrian passageway shall extend across the lot to connect either two streets or avenues whichever the development abuts. If the development site abuts two avenues and two streets, the passageway shall connect the rights of way that have the greater length. The alignment of the passageway and the point at which it intersects each avenue shall be no closer than 100 feet to a street intersection, and the connection of the passageway to abutting sidewalks shall be accessible at the grade level of the sidewalk.
b.
The required pedestrian connection shall have an average width of 25 feet and a minimum width of 15 feet. Any segment of the pedestrian passage that is covered by an overhead covering from side to side shall have a minimum width of 20 feet.
c.
The pedestrian passageway shall be open to the sky, except that up to 35 percent of the length of the passageway may be covered and enclosed, provided the minimum height of covered portions is 13 feet. Unenclosed area of the passageway may be counted as required open space; and
d.
If the passageway crosses an alley, the alley right-of-way shall be improved to ensure pedestrian safety and to reinforce the relationship between portions of the passageway on either side of the alley.
3.
The Director may allow modifications or waiver from the standards for though-block pedestrian connections as a Type I decision, if the Director determines that alternative designs will better serve the development by enhancing pedestrian comfort and promoting greater use of the connection.
(Ord. 127198, § 7, 2025; Ord. 126157, § 35, 2020; Ord. 125432, § 14, 2017.)
Structures in the SM-UP 160 zone that exceed a height of 125 feet are subject to the upper-level development standards in this Section 23.48.745.
A.
Upper-level floor area limit. For towers, the average gross floor area of all stories above the podium height shall not exceed 50 percent of the lot area.
B.
Floor area limits. For structures that exceed 125 feet in height, the maximum floor area is 12,500 square feet for each floor located above 45 feet.
C.
Podium standards. The following standards for podiums apply only to structures or portions of structures that include a tower that is subject to a floor area limit.
1.
The height limit for podiums is 45 feet.
2.
Podium floor area limits. The average gross floor area of all the stories below the podium height specified in subsection 23.48.745.C.1 shall not exceed 75 percent of the lot area used for upper-level development standards for a tower, except that the podium floor area is not limited if the total number of stories below the podium height is three or fewer stories.
D.
Facade modulation. For all structures exceeding 95 feet in height, facade modulation is required for the street-facing facade of a structure located within 15 feet of a street lot line and exceeding the podium height specified for the lot in subsection 23.48.745.C. No modulation is required for portions of a facade set back 15 feet or more from a street lot line or below the podium height.
1.
The maximum length of a facade without modulation is shown in Table A for 23.48.745. This maximum length shall be measured parallel to each street lot line and shall apply to any portion of a facade, including projections such as balconies, that is located within 15 feet of street lot lines.
2.
If a portion of a facade that is within 15 feet of the street lot line is the maximum length permitted for an unmodulated facade, the facade must be modulated at a minimum depth of 15 feet measured from the street lot line for a minimum length of 40 feet. If the required setback is provided, additional portions of the facade may be located within 15 feet of the street lot line.
E.
Limit on the number of tower structures per block
1.
Only one tower structure is permitted on a single block, which limit includes any existing tower structure.
2.
For purposes of this subsection 23.48.745.E an existing tower is either:
a.
A tower that is physically present; or
b.
A proposed tower for which notice of a Master Use Permit decision has been published, unless and until either:
1)
The Master Use Permit issued pursuant to such a decision expires or is cancelled, without the tower having been constructed; or
2)
A decision is made by a hearing examiner or court reversing or vacating the Master Use Permit and the decision is final and no longer subject to judicial review.
(Ord. 125432, § 14, 2017.)
A.
Quantity of open space. Open space in the amount of 20 square feet for each 1,000 square feet of gross floor area in office use is required for the following projects:
1.
The project is on a lot located in an SM-UP zone that has a height limit that exceeds 95 feet; and
2.
The project includes 85,000 or more square feet of gross floor area in office use.
B.
Standards for open space. Open space may be provided on-site or on an adjacent lot, as follows:
1.
On-site open space and open space on an adjacent lot
a.
Open space on site or on an adjacent lot directly accessible from the project site shall satisfy the requirement of this Section 23.48.750 if it meets the standards of subsection 23.48.740.B and the open space is accessible to all occupants of the building.
b.
Open space provided on-site under this requirement is eligible for amenity feature bonuses, where allowed in Section 23.48.021 when the following standards are met:
1)
The space has a minimum horizontal dimension of 20 feet; and
2)
The space is directly accessible to pedestrians, including persons with disabilities, from the street, or from an outdoor usable open space abutting the street; and
3)
The space is available for use during normal business hours; and
4)
Enclosed areas providing the connection between the structure's primary pedestrian access to the street and elevator cores, such as lobby space, do not qualify as required open space.
2.
Off-site public open space
a.
Open space satisfying the requirement of this Section 23.48.750 may be on a site other than the project site, provided that it is within an SM-UP zone, within one-quarter mile of the project site, open to the public without charge, and at least 3,000 square feet in contiguous area. The minimum size of off-site open space and maximum distance from the project may be increased or decreased for a project if the Director determines that such adjustments are reasonably necessary to provide for open space that will meet the additional need for open space caused by the project and enhance public access to the open space.
b.
Open space that is open to the public and provided on a site other than the project site may qualify for a development bonus for the project if the open space meets the standards of Section 23.49.013.
3.
Easement for off-site open space. The owner of any lot on which off-site open space is provided to meet the requirements of this Section 23.48.750 shall execute and record an easement in a form acceptable to the Director assuring compliance with the requirements of this Section 23.48.750.
4.
Open space provided under this Section 23.48.750 shall qualify as the open space required under subsection 23.48.740.B and Section 23.48.750 if it is located within 1/4 mile of the project site.
C.
Limitations. Open space satisfying the requirement of this Section 23.48.750 for any project shall not be used to satisfy the open space requirement for any other project, nor shall any bonus be granted to any project for open space meeting the requirement of this Section 23.48.750 for any other project. When a transmitting antenna is sited or proposed to be sited on a rooftop where required open space is located, the transmitting antenna is subject to the development standards of Section 23.57.013.
(Ord. 125432, § 14, 2017.)
A.
Parking in structures. Except as provided for by subsection 23.48.085.B, parking located above street level in a garage shall be screened on Class 1, Class 2, and Class 3 Pedestrian Streets, as shown on Map A for 23.48.740.
B.
Parking is not permitted at street level unless it is screened from the street by other uses.
(Ord. 125432, § 14, 2017.)
A.
Parking at street level within structures. Parking in the Uptown Urban Center is permitted in a story that is partially above street level and partially below street level if the structure is permitted in a setback area under the provisions of subsection 23.48.740.B.2.b.
B.
Maximum parking limit for office uses. Parking for office uses is limited to one parking space per every 1,000 square feet of gross floor area in office use.
(Ord. 125432, § 14, 2017.)
A.
Parking above the street level of a structure. The following provisions of this Section 23.48.785 apply to development in the SM-UP 65, SM-UP 85, SM-UP 95, and SM-UP 160 zones. Except as provided in Section 23.48.780 for parking partially above street level and partially below street level, parking within structures is permitted above the street level under the following conditions:
1.
No more than 50 percent of all parking may be located above grade; and
2.
For parking located on a story above the first story of a structure, a minimum of 30 percent of the length of the parking area measured along each street frontage shall be screened from the street by another use. On lots located at street intersections, the screening of parking area by another use shall be provided at the corner portion(s) of the structure; and
3.
The parking area on a story above the first story of the structure that is not screened from the street by another use shall be enclosed by facades along all street frontages. Facades shall be designed to minimize the impacts of glare from vehicle headlights and interior garage lighting on pedestrian views from the street.
B.
In the SM-UP 65, SM-UP 85, and the SM-UP 160 zones in the Uptown Urban Center, accessory surface parking is prohibited unless separated from all street lot lines by another use within a structure.
(Ord. 125432, § 14, 2017.)
The provisions in this Subchapter VII establish regulations for SM-NG zones. The SM-NG zone designation refers to all zones in the SM category in the Northgate Urban Center. The provisions in this Subchapter VII supplement the provisions of Subchapter I of Chapter 23.48. In cases of conflicts between the provisions in Subchapter I of Chapter 23.48 and this Subchapter VII, the provisions in this Subchapter VII apply.
(Ord. 125792, § 7, 2019)
A.
Prohibited uses
1.
Sales and service, automotive;
2.
Sales and service, heavy;
3.
Sales and service, marine;
4.
Drive-in business;
5.
Dry boat storage;
6.
Warehouse;
7.
Mini-warehouse;
8.
Towing services;
9.
Salvage yard;
10.
Principal use parking except for park and ride lots per subsection 23.48.805.B; and
11.
Any single general sales and service use greater than 50,000 gross square feet.
B.
Exceptions to prohibited uses
1.
Park and ride lots may be provided as a permitted use within a parking garage that contains accessory parking for other uses if the park-and-ride facility is subject to a joint use parking agreement with a transit agency.
2.
Park-and-ride lots may be provided as an administrative conditional use in a stand-alone parking garage.
C.
Required street-level uses
1.
One or more of the following uses are required at street level along the street-facing facades and facades facing the mid-block corridor that are shown on Map A for 23.48.805:
a.
General sales and service uses;
b.
Eating and drinking establishments;
c.
Entertainment uses;
d.
Public libraries;
e.
Public parks;
f.
Arts facilities;
g.
Religious facilities;
h.
Human services uses;
i.
Child care facilities;
j.
Light rail transit stations; and
k.
Residential uses provided each unit on the facade abutting the street or mid-block crossing has an individual entry.
2.
Standards for required street-level uses. Required street-level uses shall meet the development standards in subsection 23.48.040.C.
Map A for 23.48.805
Locations of street-level use requirements
(Ord. 125792, § 7, 2019)
A.
Floor area ratio (FAR) limits. The FAR limit is 7 in SM-NG 240 and SM-NG 145 zones.
B.
Floor area exempt from FAR limits. In addition to the exempt floor area identified in subsection 23.48.020.B, the following gross floor area is exempt from FAR limits:
1.
Light rail transit station and related passenger amenities
2.
School, elementary or secondary
3.
School, vocational or fine arts
4.
Human service use
5.
Up to 25,000 square feet of a community club or center that is open to the public for a minimum of six hours a day, five days a week, and 42 weeks per year;
6.
Floor area used for a performing arts theater, lecture and meeting hall, or arts facility, any of which for the purposes of this Section 23.48.820 may be operated either by for-profit or not-for-profit organizations.
7.
On a lot containing a peat settlement-prone environmentally critical area, above-grade parking within or covered by a structure or portion of a structure if the Director finds that locating a story of parking below grade is infeasible due to physical site conditions such as a high-water table, if either:
a.
The above-grade parking extends no more than 6 feet above existing or finished grade and no more than 3 feet above the highest existing or finished grade along the structure footprint, whichever is lower, as measured to the finished floor level or roof above, pursuant to subsection 23.48.815.C; or
b.
All of the following conditions are met:
1)
No above-grade parking is exempted by subsection 23.48.820.B.7.a;
2)
The parking is accessory to a residential use on the lot; and
3)
The amount of gross floor area exempted by this subsection 23.48.820.B.7 does not exceed 50 percent of the area of the lot.
C.
Minimum FAR. The minimum FAR provisions of subsection 23.48.020.C do not apply in SM-NG zones.
(Ord. 125792, § 7, 2019)
A.
Height limits
1.
The height limits in SM-NG zones are as designated on the Official Land Use Map, Chapter 23.32, shown as the number following the zone designation.
2.
A minimum lot size of 15,000 square feet is required for a structure to exceed 85 feet in height except for stair or elevator penthouses and enclosed mechanical equipment.
B.
Provisions for rooftop features allowed above the height limit are in subsection 23.48.025.C.
(Ord. 125792, § 7, 2019)
A.
Lots located on the same block in the SM-NG 240 zone may be combined, whether contiguous or not, solely for the purpose of allowing some or all of the capacity for chargeable floor area on one or more such lots under this Chapter 23.48 to be used on one or more other lots, according to the provisions of this Section 23.48.827.
B.
Within the combined lot, the permitted chargeable floor area from one lot, referred to in this Section 23.48.827 as the "reduced lot," may be allowed on one or more other lots on the same block, referred to in this Section 23.48.827 as the "increased lot(s)."
1.
The maximum total floor area within the combined lot(s) is calculated by multiplying the allowed FAR limit by the total area of all lots in the combined lot.
2.
Total chargeable floor area developed within the combined lot on the reduced lot(s) and increased lots(s) together, shall not exceed the total allowed floor area of the combined lot.
C.
The fee owners of each lot within the combined lot shall execute an agreement or instrument, which shall include the legal descriptions of each lot and shall be recorded in the King County Recorder's Office. In the agreement or instrument, the owners shall acknowledge the extent to which development capacity on the reduced lot shall be reduced by the use of chargeable floor area on the increased lot. The agreement or instrument shall also provide that such standards and conditions in this Section 23.48.827 shall covenant and run with the land and shall be specifically enforceable by the parties and by The City of Seattle.
D.
Development on any lot in a combined lot development shall not exceed or deviate from any other development standard as applied to the individual lots.
(Ord. 125792, § 7, 2019)
A.
The maximum width and depth of a structure or portion of a structure for which a separate calculation is required under subsection 23.48.835.B is 250 feet, except as otherwise provided in subsection 23.48.835.B.
B.
For purposes of this Section 23.48.835, the width and depth limits shall be calculated separately for a portion of a structure if:
1.
There are no connections allowing direct access, such as hallways, bridges, or elevated stairways, between that portion of a structure and other portions of a structure; or
2.
The only connections between that portion of a structure and other portions of a structure are in stories, or portions of a story, that are underground or extend no more than 4 feet above the sidewalk, measured at any point above the sidewalk elevation to the floor above the partially below-grade story, excluding access.
(Ord. 125792, § 7, 2019)
A.
Required setbacks in SM-NG zones. In all SM-NG zones, a setback is required from specified street lot lines as shown on Table A for 23.48.840, subject to the following:
1.
Any setback area further than 15 feet from the street lot line shall not be included in the averaging calculation.
2.
The setback area shall either be part of open space, sidewalk area, or landscaped according to standards in subsection 23.48.055.A.3.
3.
Underground structures are permitted in all required setback areas.
4.
Bay windows, canopies, horizontal projection of decks, balconies with open railings, eaves, cornices, gutters, and other similar architectural features that are at least 13 feet above the sidewalk elevation are permitted to extend up to 4 feet into the required setback.
B.
Facade requirements for street-level residential units and live-work units. In addition to the requirements of subsection 23.48.840.A, the street-facing facades of street-level residential uses and live-work units are subject to the following requirements in all SM-NG zones:
1.
There shall be a minimum setback of 5 feet from the street lot line.
2.
One or more of the following shall be located in the required setback area:
a.
Landscaped area;
b.
Private or common open space or amenity area; and
c.
Unenclosed stoops, steps, decks, or porches related to the abutting residential or live-work units.
3.
If residential units or live-work units have individual unit entries, the floor level of individual unit entries must be between 18 inches and 48 inches above finished grade.
4.
Bay windows, canopies, horizontal projection of decks, balconies with open railings, eaves, cornices, gutters, and other similar architectural features are permitted to extend up to 3 feet into the required setback.
C.
Overhead weather protection
1.
Continuous overhead weather protection, provided by such features as canopies, awnings, marquees, and arcades, is required along at least 60 percent of the street frontage of a structure, and along at least 75 percent of a structure fronting onto the required mid-block corridor identified in Section 23.48.841, except that any portions of the frontage occupied by residential dwelling units with individual entries shall not be subject to this requirement.
2.
The covered area shall extend a minimum of 6 feet from the structure, unless otherwise provided in this subsection 23.48.840.C, and unless there is a conflict with existing or proposed street trees or utility poles, in which case the Director may adjust the width to accommodate such features as provided for in subsection 23.48.840.C.6.
3.
The overhead weather protection must be provided over the sidewalk, or over a walking area within 10 feet immediately adjacent to the sidewalk. When provided adjacent to the sidewalk, the covered walking area must be within 18 inches of sidewalk grade and meet Washington State requirements for barrier-free access.
4.
For overhead weather protection extending 6 feet or less from the structure, the lower edge of the overhead weather protection shall be a minimum of 8 feet and a maximum of 13 feet above the sidewalk or covered walking area. For weather protection extending more than 6 feet from the structure, the lower edge of the weather protection shall be a minimum of 10 feet and a maximum of 18 feet above the sidewalk or covered walking area.
5.
Lighting for pedestrians shall be provided. The lighting may be located on the facade of the building or on the overhead weather protection.
6.
Where the standards listed in this subsection 23.48.840.C conflict with the vertical and horizontal clearance requirements in the street right-of-way, the standards may be modified by the Director as a Type I decision in consultation with the Director of Transportation.
Map A for 23.48.840
Street classifications and mid-block corridor
(Ord. 125792, § 7, 2019)
A.
A mid-block corridor meeting the standards of this Section 23.48.841 shall be provided as a part of any development including one or more structures containing more than a total of 10,000 square feet of gross floor area on any lot in the SM-NG 240 zone that is more than 100 feet to the south of the NE 103rd Street right-of-way and more than 100 feet north of the NE 100th Street right-of-way, as indicated on Map A for 23.48.840.
B.
The alignment of the mid-block corridor shall be no closer than 100 feet to Northeast 103rd Street or Northeast 100th Street.
C.
Prior to any development or modification of lot boundaries in the area that is more than 100 feet to the south of the NE 103rd Street right-of-way and more than 100 feet to the north of the NE 100th Street right-of-way, the area for the mid-block corridor shall be identified in an agreement recorded by the King County Recorder's Office and the applicant for the development or modification shall demonstrate that the development or modification would not preclude completion of a continuous mid-block corridor.
D.
Development on any site abutting the mid-block corridor shall provide improvements to create the mid-block corridor that meet the following standards, for the extent of the east to west dimension of the development site:
1.
The mid-block corridor shall provide for a continuous corridor that extends from 3rd Avenue Northeast to the Northgate Light Rail Station and all segments of the corridor shall be physically and visually connected.
2.
The minimum width of the mid-block corridor is 40 feet.
3.
The mid-block corridor shall contain a continuous, unobstructed pedestrian pathway that is a minimum of 10 feet wide and provides access for persons with disabilities throughout the entire corridor.
4.
If development is proposed on a site adjacent to a completed portion of the mid-block corridor, the development shall configure and align its portion of the mid-block corridor to form a contiguous corridor and pedestrian pathway.
5.
The end of the mid-block corridor at 3rd Avenue Northeast shall be accessible to pedestrians at grade level from the sidewalk.
6.
The mid-block corridor shall be open to the sky, except that overhead weather protection may be allowed on up to 40 percent of the area of the mid-block corridor including required overhead weather protection.
7.
If the mid-block corridor crosses an alley or a public or private street, the alley or public or private street right-of-way shall be improved to provide pedestrian safety and reinforce the connection between portions of the mid-block corridor on either side of the alley or public or private street.
8.
The mid-block corridor shall be improved with a surface and necessary drainage so as to be suitable for pedestrian use in all seasons.
9.
The mid-block corridor shall include lighting for pedestrian safety during nighttime hours when the corridor is available for public access pursuant to subsection 23.48.841.E.
10.
Design of the mid-block corridor shall include various features such as seating, landscaping, and artistic elements that will enhance public use of the corridor and increase activity and user comfort. The design of the corridor shall maintain the overall open character of a public outdoor space while being well integrated with the surrounding structures.
E.
Public access
1.
The required mid-block corridor shall be open to the public during all hours that light rail transit is operating at the Northgate light rail station.
2.
For any property within the corridor, property owners, tenants, and their agents shall allow individuals to engage in activities allowed in public places of a similar nature. Free speech activities such as hand billing, signature gathering and holding signs, all without obstructing access to the corridor, or adjacent buildings or features, and without unreasonably interfering with the enjoyment of the space by others, shall be allowed.
3.
Plaque requirement. A plaque indicating the nature of the corridor and its availability for general public access must be placed in a visible location at the entrances to the corridor.
4.
The mid-block corridor must be subject to a recorded document acceptable to the Director that ensures general public access and the preservation and maintenance of the corridor.
F.
The Director may allow modifications from the standards for the mid-block corridor in subsection 23.48.841.D as a Type I decision if the applicant demonstrates that alternative treatments will better serve the public by enhancing pedestrian comfort, integrating the feature as part of the surrounding pedestrian network, and/or promoting greater use of the connection.
G.
The mid-block corridor provided under this Section 23.48.841 is eligible to qualify as amenity area for residential uses under Section 23.48.045, and required usable open space under Section 23.48.852, as long as the applicable standards of Section 23.48.045 and Section 23.48.852 are met.
(Ord. 125792, § 7, 2019)
The following standards apply to structures in which any portion of the structure exceeds a height of 85 feet, not including stair or elevator penthouses and enclosed mechanical equipment.
A.
Podiums. The height limit for podiums is 45 feet as measured from the elevation at the street lot line.
B.
Towers. A tower is any portion of the structure that exceeds the podium height limit and extends vertically to exceed a height of 85 feet not including stair or elevator penthouses and enclosed mechanical equipment. Portions of the structure that exceed the podium height limit and are not attached to a portion of the structure that extends vertically above a height of 85 feet are not towers. More than one tower may be located on a single podium in the same structure provided separation requirements and tower floor area limits are met.
C.
Tower floor area limits. In SM-NG zones towers are subject to the floor area limits shown in Table A for 23.48.845. The floor area limit applies to contiguous floors within each tower above the podium height limit, excluding stair and elevator penthouses and enclosed mechanical equipment.
D.
Upper-level setbacks. The following upper-level setbacks are required.
1.
An upper-level setback of 15 feet is required for towers above the podium height limit from all street lot lines and a required mid-block corridor.
2.
An average upper-level setback of 10 feet is required from all street lot lines for any portion of a structure that exceeds 65 feet in height. The maximum depth of a setback that can be used for calculating the average is 15 feet.
3.
An average upper-level setback of 10 feet is required from a required mid-block corridor for any portion of a structure that exceeds 45 feet in height. The maximum depth of a setback that can be used for calculating the average is 20 feet.
E.
Separation. Separation between structures or portions of the same structure is required as follows:
1.
A minimum horizontal separation of 75 feet is required between proposed towers or between proposed and existing towers, regardless of whether they are on the same lot or on separate lots, as shown on Exhibit A for 23.48.845. For these purposes, a proposed tower is any tower in a development proposal for which an Early Design Guidance (EDG) meeting has been completed, and an existing tower is any tower in any development for which a certificate of occupancy has been issued; and
2.
Within a lot. A minimum horizontal separation of 75 feet is required between towers and all other portions of the same structure or portions of other structures on the same lot that exceed 45 feet in height, as shown on Exhibit A for 23.48.845.
Exhibit A for 23.48.845
Required separation between tower structures
F.
Projections. The first 4 feet of horizontal projection of decks, balconies with open railings, eaves, cornices, gutters, and similar architectural features are permitted in the upper-level setbacks required in subsection 23.48.845.D and in the separation area required in subsection 23.48.845.E.
(Ord. 125792, § 7, 2019)
The following standards apply to structures in which all portions of the structure are 85 feet or less in height not including stair or elevator penthouses and enclosed mechanical equipment.
A.
Upper-level setbacks. The following upper-level setbacks are required.
1.
An average upper-level setback of 10 feet is required from all street lot lines for any portion of a structure that exceeds 65 feet in height. The maximum depth of a setback that can be used for calculating the average is 15 feet.
2.
An average upper-level setback of 10 feet is required from a required mid-block corridor for any portion of a structure that exceeds 45 feet in height. The maximum depth of a setback that can be used for calculating the average is 20 feet.
B.
Separation. Separation between structures is required as follows:
1.
A minimum horizontal separation of 75 feet is required between portions of a structure over 45 feet in height not including stair or elevator penthouses or enclosed mechanical equipment and existing towers, regardless of whether they are on the same lot or on separate lots.
C.
Projections. The first 4 feet of horizontal projection of decks, balconies with open railings, eaves, cornices, gutters, and similar architectural features are permitted in the upper-level setbacks required in subsection 23.48.846.A and in the separation area required in subsection 23.48.846.B.
(Ord. 125792, § 7, 2019)
A.
For structures with a width of more than 250 feet, at least one portion of the structure 30 feet or greater in width must be set back a minimum of 15 feet from the front property line. For structures with a width of more than 500 feet, at least two portions of the structure 30 feet or greater in width and separated by at least 100 feet must be set back a minimum of 15 feet from the front property line.
B.
Modulation is not required:
1.
For portions of the street-facing facade of a story that is less than 4 feet above sidewalk grade, as measured to the top of the floor above the partially below-grade story;
2.
For structures that do not exceed 45 feet in height; or
3.
For stories above street level that include parking that is separated from the street lot line by other uses along all street frontages.
C.
The following projections are allowed within the setback specified in subsection 23.48.846.A:
1.
Roof eaves, including gutters and roof cornices and other similar architectural features, that may extend a maximum of 18 inches into the setback area; and
2.
Overhead weather protection, whether required by subsection 23.48.840.C or not.
(Ord. 125792, § 7, 2019)
Development proposed in all SM-NG zones is subject to MHA under the provisions of Chapters 23.58B and 23.58C.
(Ord. 125792, § 7, 2019)
A.
Usable open space meeting the standards of this Section 23.48.852 is required in all SM-NG zones for development including one or more structures containing more than a total of 10,000 square feet of gross floor area.
B.
Usable open space required by subsection 23.48.852.A shall meet the following standards:
1.
The minimum amount of required usable open space shall be equal to 2 square feet for every 100 square feet of chargeable gross floor area.
2.
Area qualifying as required usable open space may include both unenclosed and enclosed areas as provided for in this subsection 23.48.852.B. No more than 25 percent of the required usable open space may be enclosed usable open space.
3.
The required usable open space shall be accessible from street level, with variations in elevation allowed to accommodate changes in topography or to provide for features such as ramps that improve access for persons with disabilities.
4.
The required usable open space may be provided in more than one location on the lot if the required amount exceeds 4,500 square feet, and as long as no separate required usable open space area is less than 2,000 square feet.
5.
If the lot abuts a required mid-block corridor pursuant to Section 23.48.841, at least 50 percent of the required usable open space shall be located adjacent to or within the mid-block corridor.
6.
Area qualifying as unenclosed usable open space shall meet the following requirements:
a.
The average horizontal dimension shall be at least 30 feet and not less than 15 feet at any point;
b.
It shall abut a public street frontage or required mid-block corridor; and
c.
It shall be open to the sky with the exception of required overhead weather protection.
7.
Enclosed open space such as an atrium or winter garden shall meet the following requirements:
a.
The space shall have direct access for pedestrians, including persons with disabilities, from the street, an outdoor usable open space abutting the street, or a required mid-block corridor;
b.
The space shall be provided as one continuous area that is a minimum of 2,000 square feet in size with an average horizontal dimension of 30 feet and a minimum horizontal dimension of 15 feet;
c.
The minimum clearance from ground level to the ceiling, roof, or other enclosing structure is 15 feet; and
d.
Lobby areas and corridors used solely to provide access between the structure's principal street entrance and elevators, does not qualify as enclosed interior open space for the purposes of this subsection 23.48.852.B.7.
8.
Woonerfs consistent with the definition in Section 23.84A.044 can meet the requirement for usable open space.
9.
All areas provided as usable open space under this Section 23.48.852 shall be accessible to persons with disabilities.
10.
Features provided under this subsection 23.48.852.B are eligible to qualify as amenity area for residential uses required by Section 23.48.045, provided the standards of that Section 23.48.045 are met.
11.
Space provided for a required mid-block corridor pursuant to Section 23.48.841 may count towards the requirement for usable open space in this Section 23.48.852.
12.
Design of usable open space shall include various features such as seating, landscaping, and artistic elements that will enhance public use of the usable open space and increase activity and user comfort. The design of the usable open space shall be well integrated with the surrounding structures.
C.
Public access
1.
The required usable open space shall be open to the general public without charge for reasonable and predictable hours for a minimum of 10 hours each day of every week.
2.
Within the usable open space, property owners, tenants, and their agents shall allow individuals to engage in activities allowed in public places of a similar nature. Free speech activities such as hand billing, signature gathering and holding signs, all without obstructing access to the adjacent buildings or features, and without unreasonably interfering with the enjoyment of the space by others, shall be allowed.
D.
Offsite open space
1.
Usable open space required by Section 23.48.852 may be provided off site on another lot within a SM-NG zone with the same height limit.
2.
The owner of any lot on which off-site open space is provided to meet the requirements of this Section 23.48.852 shall execute and record an easement in a form acceptable to the Director assuring compliance with the requirements of this Section 23.48.852.
3.
Any executed and recorded easement shall be in place prior to issuance of building permit for any development in which open space required by this Section 23.48.852 is to be provided off-site.
4.
Development on any lot on which there is an easement to provide off-site open space required by this Section 23.48.852 shall provide the off-site open space prior to issuance of certificate of occupancy.
(Ord. 125792, § 7, 2019)
A.
Off-street parking spaces and bicycle parking are required according to Section 23.54.015.
B.
Maximum parking limit for non-residential uses
1.
Accessory parking for non-residential uses is limited to one parking space per every 1,000 square feet of gross floor area in non-residential use excluding gross floor area dedicated to accessory parking.
2.
If on or before September 1, 2012, a lot is providing legal off-site parking for another lot, by means such as a recorded parking easement or off-site accessory parking covenant on the subject lot, then the number of such off-site parking spaces is allowed in addition to one space per 1,000 square feet for non-residential uses on the subject lot.
3.
Parking provided for transit system operations, such as off-street layover spaces for transit system maintenance and service vehicles, are not subject to the limits of subsection 23.48.880.B.1.
4.
Park and ride lots. For any type of parking provided for park-and-ride purposes, there is no maximum parking limit.
C.
Maximum parking limit for residential uses. Parking for residential uses is limited to a maximum of 0.75 parking spaces per dwelling unit, except that parking spaces used exclusively by car-sharing services shall not be counted against the maximum.
D.
Off-site parking is allowed according to Section 23.54.025.
(Ord. 125792, § 7, 2019)
A.
Parking location within structures
1.
Except as provided in subsection 23.48.885.A.2, no more than two stories of parking above the street-level story may be provided.
2.
The Director may permit more than two stories of parking above the street-level story of the structure, or waive the amount of parking required to be located below grade when parking is provided above the street-level story, or permit other exceptions to this subsection 23.48.885.A.2, as a Type I decision, if the Director finds that locating parking below grade is infeasible due to physical site conditions such as a high-water table, presence of peat soil hazards, or proximity to a tunnel or culvert. In such cases, the Director shall determine the maximum feasible amount of parking that can be provided below grade, if any, and the amount of additional parking to be permitted above street level based on an assessment of the conditions that restrict an applicant from providing the parking below grade, such as the depth and dimensions of underground impediments. The rationale that a site is too small to accommodate parking below grade is not a basis for granting an exception under this subsection 23.48.885.A.2.
B.
Accessory surface parking shall be separated from all street lot lines by another use within a structure, except that driveway access need not be separated.
(Ord. 125792, § 7, 2019)
The provisions in this Subchapter VIII for the Seattle Mixed - Rainier Beach (SM-RB) zone are in addition to and supplement the provisions of Sections 23.48.005 through 23.48.095. In cases of conflicts between Sections 23.48.005 through 23.48.095 and this Subchapter VIII, the provisions of this Subchapter VIII apply.
(Ord. 125791, § 78, 2019.)
Residential and live-work uses are prohibited in street-level, street-facing facades facing Class 2 Pedestrian Streets in the Rainier Beach Residential Urban Village shown on Map A for 23.48.940.
(Ord. 125791, § 78, 2019.)
A.
Except as described in subsection 23.48.920.B, the floor area ratio (FAR) limit in SM-RB zones is as shown in Table A for 23.48.920.
B.
The FAR limit listed in Table A for 23.48.920 shall be increased by an amount of floor area equal to twice the amount of floor area occupied by the following uses, up to a maximum increase in FAR of 1.0 in SM-RB 55 and SM-RB 85 zones and 2.0 in SM-RB 125 zones:
1.
Light manufacturing;
2.
College;
3.
School, vocational, or fine arts;
4.
Food processing and craft work;
5.
Child care center; or
6.
Low-income housing.
A.
Pedestrian streets in SM-RB zones are as shown in Map A for 23.48.940.
Map A for 23.48.940
Pedestrian street classification in SM-RB zones
B.
On pedestrian streets shown on Map A for 23.48.940, the street-facing facade of a structure may be set back up to 12 feet from the street lot line subject to the following:
1.
The setback area shall be landscaped according to the provisions of Section 23.48.055;
2.
Setbacks greater than 12 feet are permitted for up to 30 percent of the length of portions of the street facade that are set back from the street lot line, provided that these setbacks are located 20 feet or more from any street corner; and
3.
Any required outdoor amenity area provided in accordance with Section 23.48.045 is not considered part of the setback area and may extend beyond the limit on setbacks from the street lot line that would otherwise apply under subsections 23.48.940.B.1 or 23.48.940.B.2.
C.
Except on pedestrian streets, loading docks may count toward meeting the transparency standards of subsection 23.48.040.B in the Rainier Beach Residential Urban Village.
(Ord. 125791, § 78, 2019.)
The standards of Sections 23.48.055 and 23.48.085 are modified as follows for portions of lots that do not abut a pedestrian street for a development that includes space with one or more uses listed in subsections 23.48.920.B.1 through 23.48.920.B.6:
A.
Surface parking is not required to be separated from the street by other uses.
B.
Two two-way curb cuts are allowed, provided no curb cuts are located on pedestrian streets.
C.
The amount of lot area allocated to accessory surface parking can be as much as 50 percent of the total lot area.
(Ord. 125791, § 78, 2019.)